Property Details
Sale Recording Date: 02/05/2020 Title Company: FIRST AMERICAN Sale Price: $209,000 Document #: 14116 Cost/SqFt: $193.70 Vesting: Individual(s) Purchase Loan: $167,200 Buyer Name(s): Andrea Hood
Property Characteristics
Total SqFt: 1,079
Built: 2006 Beds:
Units: 4 Baths: 2.50 Pool:
Rooms: Ext / Roof: / Composition Shingle Heat/AC: Stories: 2 Condition: Fireplace: Y Garage: Foundation: View: School District: REYNOLDS
Watershed: Columbia Slough-Willamette River
APN: R577262
APN: R577262
Aerial Map - 19159 SE Yamhill St #15
This map/plat is being furnished as an aid in locating the herein described land in relation to adjoining streets, natural boundaries and other land, and is not a survey of the land depicted Except to the extent a policy of title insurance is expressly modi ed by endorsement, if any, the company does not insure dimensions, distances, location of easements, acreage or other matters shown thereon
Assessor Map - 19159 SE Yamhill St #15
This map/plat is being furnished as an aid in locating the herein described land in relation to adjoining streets, natural boundaries and other land, and is not a survey of the land depicted Except to the extent a policy of title insurance is expressly modi ed by endorsement, if any, the company does not insure dimensions, distances, location of easements, acreage or other matters shown thereon
Parcel ID: R577262
SiteAddress: 19159 SEYamhill St, Unit #15
Sentry Dynamics, Inc and its customers make no representations, warranties or conditions, express or implied, as to the accuracy or completeness of information contained in this report
Property Owner Property Address 2024AssessedValue R577262 HOOD,ANDREA 19159SEYAMHILLST,UNIT#15,GRESHAM,OR97233
GENERALINFORMATION
Property Status AActive
Property Type RPResidential
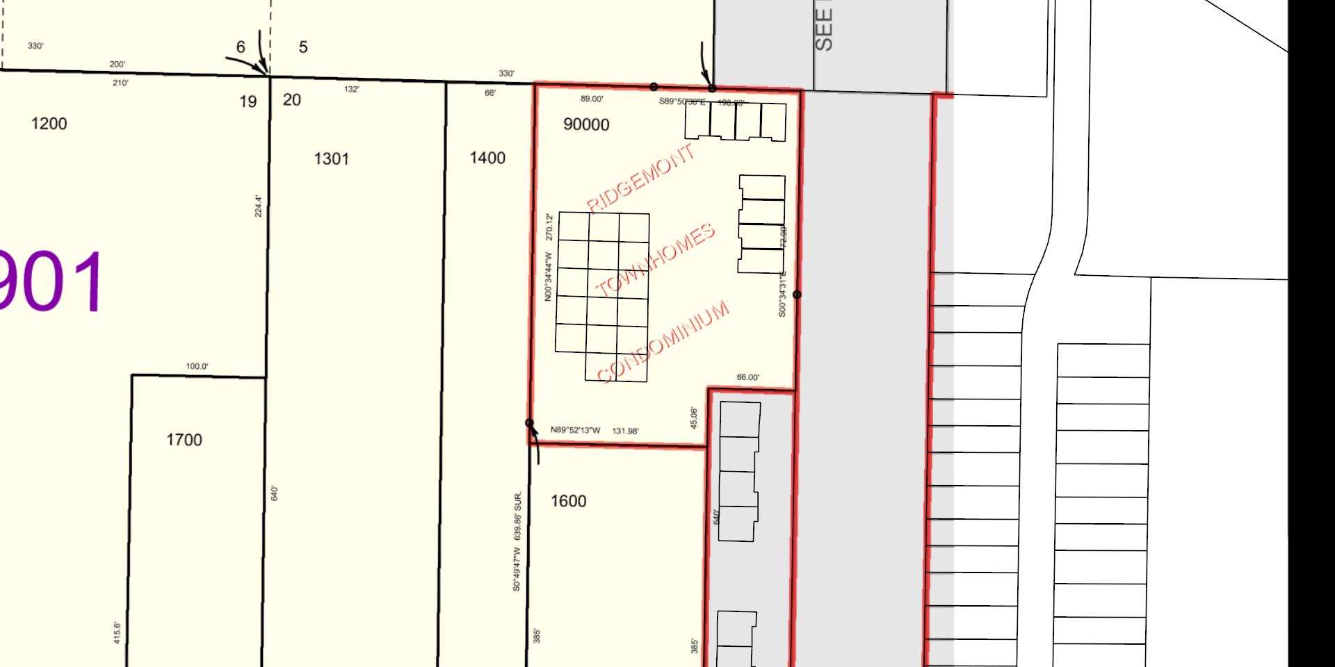
Legal Description RIDGEMONTTOWNHOMESCONDOMINIUM, LOT15
Alternate Account Number R704850800
Neighborhood RW201Gresham-EastCounty
Map Number 1S3E05BA-90016
Property Use W-RESIDENTIALCONDO
LevyCodeArea 901
OWNERINFORMATION
Owner Name HOOD,ANDREA
Mailing Address 19159SEYAMHILLST#15PORTLAND,OR 97233
RELATEDPROPERTIES
Split/Merge data prior to February 6, 2018 is not available online, please call Multnomah County Assessment & Taxation division.
Linked Properties R569505
Property Group ID -
Grouped Properties -
Split / Merge Date -
Split / Merge Accounts -
Split / Merge Message -
ASSESSEDVALUES
Households Breakdown
Age Distribution
SubjectPropertyLocation
PropertyAddress 19159SEYAMHILLSTAPT15
City,State&Zip PORTLAND,OR97233-5964
County MULTNOMAHCOUNTY
MailingAddress 19159SEYAMHILLSTAPT15,PORTLAND,OR97233-5964
Owner HOOD,ANDREA
ofCars
NearbyNeighbor#1 Address
Owner JONES,STEVE&DAVIDP&PEGGYL
HENIN,KATHY
Owner STATLER,SAMANTHA
TZIU-ROJAS,CESARE
NearbyNeighbor#5
Owner DIAZ-RAMOS,CINTDIA
2/1
NearbyNeighbor#6 Address
Owner PHILLIPS,STEPHANIEL
NearbyNeighbor#7
Address
Owner LUU,TRANNGUYEN
ofCars
NearbyNeighbor#8
Address 19155SEYAMHILLSTAPT17,PORTLAND,OR97233
Owner LO,MILAN
ReportDate:01/31/2025
OrderID:R172606018
NearbyNeighbor#9
Address 19153SEYAMHILLSTAPT22,PORTLAND,OR97233
Owner TOUCH,SORPHEA
Bedrooms 0 YearBuilt
Bathrooms/Partial 2/1 Garage/No ofCars
NearbyNeighbor#10
Address 19175SEYAMHILLSTAPT2,PORTLAND,OR97233
Owner NORTHWESTANAKOILLC
Bedrooms 0 YearBuilt
Bathrooms/Partial 2/1 Garage/No ofCars
NearbyNeighbor#11
Address 19159SEYAMHILLSTAPT12,PORTLAND,OR97233
Owner WARD,JOHNC&WARD,ARIANA
Bedrooms 0 YearBuilt
Bathrooms/Partial 2/1 Garage/No ofCars
NearbyNeighbor#12
Address 19155SEYAMHILLSTAPT18,PORTLAND,OR97233
Owner POPESCU,FELICIA&POPESCU,VALENTIN
NearbyNeighbor#13
Address 19175SEYAMHILLSTAPT3,PORTLAND,OR97233
Owner LAZO,JAIMEG
0 YearBuilt
2/1
BEVAN,JULIAN
OR
PART THEUSEOFTHISREPORTBYANYPARTYOTHERTHANYOURSELFFORANYPURPOSEISSTRICTLYPROHIBITED.THISREPORTISPROVIDEDAS-ISWITHOUTWARRANTYOFANYKIND,EITHEREXPRESS ORIMPLIED,INCLUDINGWITHOUTLIMITATION,ANYWARRANTIESOFMERCHANTABILITY,NON-INFRINGEMENT,ORFITNESSFORAPARTICULARPURPOSE.INTERCONTINENTALEXCHANGE,INC.(ICE)SHALL HAVENOLIABILITYINCONTRACT TORT,OROTHERWISEARISINGOUTOFORINCONNECTIONWITHTHISREPORT.ICEDOESNOTREPRESENTORWARRANTTHATTHEREPORTISCOMPLETEORFREEFROM ERROR.YOUUNDERSTANDANDACKNOWLEDGETHATTHEAVAILABILITY,COMPLETENESSANDFORMATOFTHEDATAELEMENTSMAYVARYSUBSTANTIALLYFROMAREA-TO-AREA.THEINFORMATION CONTAINEDINTHISREPORTISDERIVEDFROMPUBLICLYAVAILABLESOURCESFORTHESUBJECTPROPERTYORCOMPARABLEPROPERTIESLISTEDABOVEANDHASNOTBEENINDEPENDENTLYVERIFIEDBY ICETHROUGHANYFORMOFINSPECTIONORREVIEW THISREPORTDOESNOTCONSTITUTEANAPPRAISALOFANYKINDANDSHOULDNOTBEUSEDINLIEUOFANINSPECTIONOFASUBJECTPROPERTYBYA LICENSEDORCERTIFIEDAPPRAISER.THISREPORTCONTAINSNOREPRESENTATIONS,OPINIONSORWARRANTIESREGARDINGTHESUBJECTPROPERTY'SACTUALMARKETABILITY,CONDITION(STRUCTURAL OROTHERWISE),ENVIRONMENTAL,HAZARDORFLOODZONESTATUS,ANDANYREFERENCETOENVIRONMENTAL,HAZARDORFLOODZONESTATUSISFORINFORMATIONALPURPOSESONLYANDSHALLBE INDEPENDENTLYVERIFIEDBYTHEENDUSER.THEINFORMATIONCONTAINEDHEREINSHALLNOTBEUTILIZED:(A)TOREVIEWORESTABLISHACONSUMER'SCREDITAND/ORINSURANCEELIGIBILITYORFOR ANYOTHERPURPOSETHATWOULDCAUSETHEREPORTTOCONSTITUTEA"CONSUMERREPORT"UNDERTHEFAIRCREDITREPORTINGACT,15U.S.C.§1681ETSEQ.;OR(B)INCONNECTIONWITH CERTIFICATIONORAUTHENTICATIONOFREALESTATEOWNERSHIPAND/ORREALESTATETRANSACTIONS.ADDITIONALTERMSANDCONDITIONSSHALLAPPLYPURSUANTTOTHEAPPLICABLEAGREEMENT Copyright CONFIDENTIAL,PROPRIETARYAND/ORTRADESECRET TMSM®TRADEMARK(S)OFINTERCONTINENTALEXCHANGE,INC.ANDITSSUBSIDIARIESANDAFFILIATES. ©2025INTERCONTINENTALEXCHANGE,INC.ALLRIGHTSRESERVED.





Area Schools
Assigned School
Primary School: Davis Elementary School
Middle School: Reynolds Middle School
High School: Reynolds High School
Primary School
Davis Elementary School 1
Middle School
Reynolds Middle School 2
High School
Reynolds High School 3
Other School
1. Davis Elementary School
Distance: 0.49 mile(s)
Address: 19501 Ne Davis St District: Reynolds Sd 7 Type: 1-Regular school
Charter: No Magnet:
Title 1 Elig: 1-Yes
2. Reynolds Middle School
Title 1: 5-Title I schoolwide school
Students: 373
Grade Levels: Kindergarten - 5th Grade
Male / Female: 193 / 180 Distance: 1.10 mile(s)
Address: 1200 Ne 201St Ave
District: Reynolds Sd 7
Charter: No Magnet:
Title 1 Elig: 1-Yes
Male / Female: 445 / 386
3. Reynolds High School
Type: 1-Regular school
Students: 837
Title 1: 5-Title I schoolwide school Grade Levels: 6th Grade - 8th Grade
Address: 1698 Sw Cherry Park Rd District: Reynolds Sd 7
Charter: No
Title 1 Elig: 2-No
Male / Female: 1,296 / 1,168
Title 1: 6-Not a Title I school
3.17 mile(s)
Type: 1-Regular school
Students: 2,474
Grade Levels: 9th Grade - 12th Grade
Scan QR Code for CC&Rs
CC&Rs: Ridgemont Townhomes Condominium
Compliments of Lawyers Title
What is an Escrow?
An escrow is a neutral third party depository for legal documents and funds necessary to complete a real estate transaction. The escrow agent will disburse funds and record documents for the proper recipients according to their written instructions.
What title insurance and escrow costs are incurred in a real estate sale?
The fee for escrow services is based on the sales price of the property. This fee is typically split equally between the Seller and Buyer. However, Buyers should check with their lenders if financing is involved because some federally insured lending programs do not allow borrowers to pay this fee. The Seller typically pays for a standard owner’s policy of title insurance which names the Buyer as the insured. Charges for this policy are based on the sales price of the property. The Buyer typically pays for a lender’s policy of title insurance and any required endorsements if they are obtaining a new loan to purchase the property. Charges for this policy are based on the loan amount.
What services does an escrow agent perform on behalf of the Seller and Buyer?
• Upon receipt of a mutual Earnest Money Agreement, Escrow will order a preliminary title report which is sent to interested parties involved in the transaction. The report will detail the current condition of the title to the property.
• Clears any liens or encumbrances against the property, per written instructions
• Prepares a closing statement for each party showing all credits and debits, including any funds due to close, or refund owed at closing. The escrow agent will schedule appointments for all parties to sign the necessary documents to complete the transaction.
• Returns signed loan documents to the lender to their review and approval.
• Records all necessary documents with the County Recorder's Office
• Disburses funds per written instructions and issues title insurance policies to the proper parties.
1
The Listing Agreement
The property owner (Seller) initiates a contract, or a listing agreement, with a licensed Real Estate Agent.
2
The Sale
Property owner (Seller) enters into a purchase contract, typically referred to as an Earnest Money Agreement (EMA), with a Buyer.
The Escrow
As part of the EMA, Seller agrees to purchase a title insurance policy for the Buyer and both agree to close the transaction with a licensed escrow company. In Oregon, most title insurance companies also offer escrow services to facilitate a convenient “one-stop” approach to closing real estate transactions.
ESCROW FLOW CHART
Receive and review Earnest Money Agreement and Broker’s instructions.
Open escrow. Order title report.
Determine financing.
Information gathering from Buyer and Seller.
Receive title report. Send copies to all parties in the transaction.
Resolve any title issues. Order any payoff demands.
Review file. Are conditions satisfied? Contingencies removed?
Prepare closing statement, closing instructions and transfer deed
Obtain signatures on all escrow and loan documents. Collect any funds due from Buyer and/or Seller
Record applicable documents with the County Recorder's office.
Close file. Prepare final statements. Disburse funds.
Forward final documents to all interested parties - Buyer, Seller, Real Estate Agents, Lender, Broker, Attorney, etc.
NEW LOAN
Notify Escrow with name of new lender and loan officer.
Send title report to lender.
Notification of final loan approval. Are repairs complete?
Deliver Seller & Buyer Closing Disclosures. Buyers’ consummation 3-6 days.
Loan documents delivered to escrow.
Return loan documents for final approval to fund and record.
Order loan funds.