Skip to main content

Homebook - 16080 SE Peace Ct

Page 1


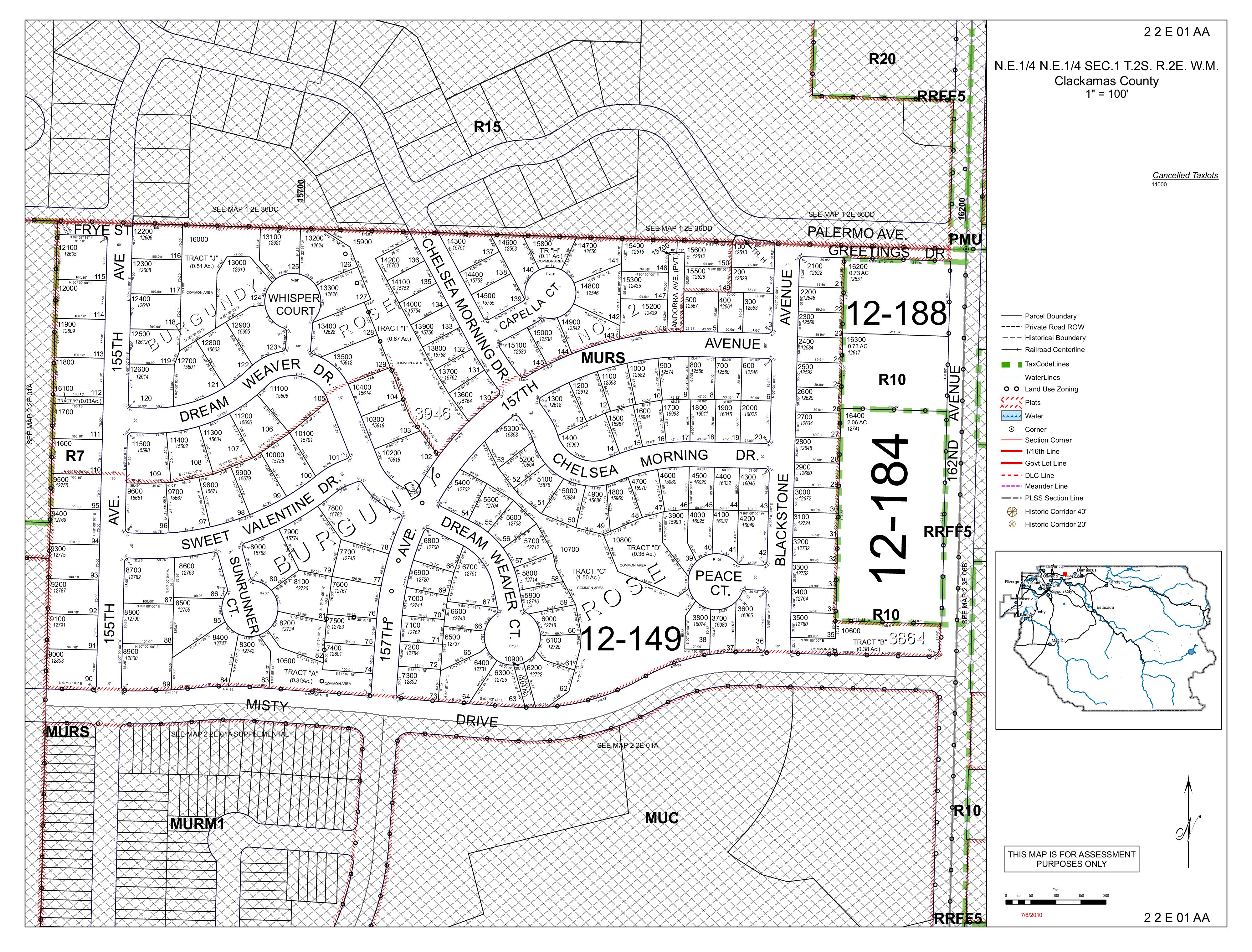
County Name: Clackamas

APN / Parcel Number: 05009556

Current Ownership: Rayburn, William Kenneth Jr Trustee

Site Address: 16080 SE Peace Ct, Happy Valley OR 97086

Mail Address: 16080 SE Peace Ct, Happy Valley OR 97086 *Owner Occupied

Tract / Subdivision: / Burgundy Rose

Census Tract / Block: 022208 / 3036

/ Block: 37

Property Characteristics

ParcelID:05009556

SentryDynamics,Inc anditscustomersmakenorepresentations,warrantiesor conditions,expressorimplied,astotheaccuracyorcompletenessofinformation containedinthisreport

ParcelID:05009556

SiteAddress:16080SEPeaceCt

SentryDynamics,Inc anditscustomersmakenorepresentations,warrantiesor conditions,expressorimplied,astotheaccuracyorcompletenessofinformation containedinthisreport

ParcelID:05009556

SiteAddress:16080SEPeaceCt

SentryDynamics,Inc anditscustomersmakenorepresentations,warrantiesor conditions,expressorimplied,astotheaccuracyorcompletenessofinformation containedinthisreport

Property Account Summary

GeneralInformation

AlternateProperty# 22E01AA03700

PropertyDescription SubdivisionBURGUNDYROSE3864Lot37

LastSalePrice $000

LastSaleDate 02/01/2016

LastSaleExciseNumber 291076

PropertyCategory

Remarks

PropertyCharacteristics Neighborhood

Parents

ParcelNo. Seg/MergeNo.

Children

Parcel

No Children Found

ActiveExemptions

No Exemptions Found

Events

01/06/2016 02/01/2016 15:55:00 Taxpayer Changed Property Transfer Filing No.: 291076 01/06/2016 by HEIDIHAR

01/06/2016 02/01/2016 15:55:00 Recording Processed

Property Transfer Filing No.: 291076, Warranty Deed, Recording No.: 2016000650 01/06/2016 by HEIDIHAR

06/25/2015 06/29/2015 16:37:00 Taxpayer Changed Property Transfer Filing No.: 280686 06/25/2015 by AMANDAOLS

06/25/2015 06/29/2015 16:37:00

Recording Processed

Property Transfer Filing No.: 280686, Warranty Deed, Recording No.: 2015040515 06/25/2015 by AMANDAOLS

02/13/2013 02/20/2013 15:24:00 Taxpayer Changed Property Transfer Filing No.: 242323 02/13/2013 by AMANDAOLS

02/13/2013 02/20/2013 15:24:00 Recording Processed

03/26/2009 03/26/2009 17:48:00

Property Transfer Filing No.: 242323, Warranty Deed, Recording No.: 2013010362 02/13/2013 by AMANDAOLS

Annexation Completed For Property Annex Trimet Trans, Ord 305-added to annexation by batch process 15,726. by JENMAYO

05/09/2007 05/11/2007 16:41:00 Taxpayer Changed

05/09/2007 05/11/2007 16:41:00 Recording Processed

06/06/2006 06/06/2006 13:57:00

Annexation Completed For Property

05/25/2006 06/14/2006 15:32:00 Taxpayer Changed

05/25/2006 06/14/2006 15:32:00

Recording Processed

Property Transfer Filing No.: 159853 05/09/2007 by AMANDAOLS

Property Transfer Filing No.: 159853, Bargain & Sale, Recording No.: 2007039872 05/09/2007 by AMANDAOLS

Annex to N Clackamas Park, Ord 2006-25 Pt 2-annexed by 012-158 for 2006Revise TCA Membership by JENMAYO

Property Transfer Filing No.: 141911 05/25/2006 by CINDYSIM

Property Transfer Filing No.: 141911, Warranty Deed, Recording No.: 2006047924 05/25/2006 by CINDYSIM

12/02/2004 12/02/2004 08:55:00 Created by Seg/Merge Created by Seg/Merge SM050010, Effective: 01/02/2004 by LAURIEB

10/14/2004 12/04/2004 13:03:00 Taxpayer Changed

10/14/2004 12/04/2004 13:03:00

TaxBalance

InstallmentsPayable Tax

Recording Processed

No Records Found InstallmentsPayable/PaidforTaxYear(Enter4-digitYear,thenClick-Here):

Property Transfer Filing No.: 108207 10/14/2004 by LAURIEB

Property Transfer Filing No.: 108207, Warranty Deed, Recording No.: 2004095025 10/14/2004 by LAURIEB

SalesHistory

12/14/2015 02/01/2016 01/06/2016 2016000650 $0.00 291076

06/24/2015 06/29/2015 06/25/2015 2015040515 $399,000.00 280686

RAYBURN WILLIAM K & NANCY E

WILLIAM KENNETH JR TRUSTEE No

PENNY RAYBURN WILLIAM K & NANCY E No 02/12/2013 02/20/2013 02/13/2013 2013010362 $310,000.00 242323 S DAVIS SHERI RUSSELL PENNY No

05/03/2007 05/11/2007 05/09/2007 2007039872 $0.00 159853 S HUGHES MICHELE DAVIS SHERI No

06/14/2006 05/25/2006 2006047924 $450,618.00 141911

10/08/2004 12/04/2004 10/14/2004 2004095025 $219,000.00 108207 X OAKRIDGE ESTATES DEVELOPMENT INC D R HORTON INCPORTLAND No PropertyDetails

Detailed Statement

Area Schools

Assigned School

Primary School: Beatrice Morrow Cannady Elementary

Middle School: Happy Valley Middle School

High School: Clackamas High School

Primary School

Beatrice Morrow Cannady Elementary 1

Middle School

Happy Valley Middle School 2

High School

Clackamas High School 3

Other School

1. Beatrice Morrow Cannady Elementary

Address: 18031 Se Vogel Rd District: North Clackamas Sd 12

Charter: No

Title 1 Elig: 2-No

Male / Female: 261 / 241

2. Happy Valley Middle School

Title 1: 6-Not a Title I school

Address: 13865 Se King Rd District: North Clackamas Sd 12

Charter: No

Title 1 Elig: 2-No

Male / Female: 599 / 509

3. Clackamas High School

Title 1: 6-Not a Title I school

Address: 14486 Se 122Nd Ave District: North Clackamas Sd 12

Charter: No

Title 1 Elig: 2-No

Male / Female: 657 / 606

Title 1: 6-Not a Title I school

1-Regular school

Students: 502

1.54 mile(s)

1-Regular school

1,111

6th Grade - 8th Grade

1.92 mile(s)

1-Regular school

1,278

Levels: 9th Grade - 12th Grade

Scan QR Code for CC&Rs

CC&Rs: Burgundy Rose

STEPS IN A REAL ESTATE TRANSACTION

1

What is an Escrow?

THE LISTING AGREEMENT

The property owner (Seller) initiates a contract, or a listing agreement, with a licensed Real Estate Agent.

2

THE SALE

Property owner (Seller) enters into a purchase contract, typically referred to as an Earnest Money Agreement, with a Buyer.

3

ESCROW

As part of the purchase contract, Seller agrees to purchase a title insurance policy for the Buyer and both agree to close the transaction with a licensed escrow company. In Oregon, most title insurance companies also offer escrow services to facilitate a convenient “one-stop” approach to closing real estate transactions.

An escrow is a neutral third party depository for legal documents and funds necessary to complete a real estate transaction. The escrow agent will disburse funds and record documents for the proper recipients according to their written instructions.

What title insurance and escrow costs are incurred in a real estate sale?

The fee for escrow services is based on the sales price of the property. This fee is typically split equally between the Seller and Buyer. However, Buyers should check with their lenders if financing is involved because some federally insured lending programs do not allow borrowers to pay this fee. The Seller typically pays for a standard owner’s policy of title insurance which names the Buyer as the insured. Charges for this policy are based on the sales price of the property. The Buyer typically pays for a lender’s policy of title insurance and any required endorsements if s/he is obtaining a new loan to purchase the property. Charges for this policy are based on the loan amount.

What services does an escrow agent perform on behalf of the Seller and Buyer?

• Upon opening of escrow, escrow agent will order a preliminary title report, which will be sent to all interested parties involved in the transaction. The report will detail the current ownership, liens and encumbrances of the property.

• Closing statements will be prepared for each party, showing all credits and debits. The escrow agent will schedule appointments for all parties to sign their final necessary documents, including any funds needed to be deposited, to complete the transaction.

• Signed loan documents are returned to the Lender, for final review and funding approval.

• Recordable documents are released to the County Clerk’s office for recording.

• Once recorded, all funds are disbursed per written instructions.

• Final title policies are issued to the insured parties.

FROM PENDING TO SOLD

ESCROW FLOW CHART

Receive and review Earnest Money Agreement and Broker’s instructions.

Open escrow. Order title report.

Determine financing.

Information gathering from Buyer and Seller.

Receive title report. Send copies to all parties in the transaction.

Resolve any title issues. Order any payoff demands.

Review file. Are conditions satisfied? Contingencies removed?

Prepare closing statement, closing instructions and transfer deed

Obtain signatures on all escrow and loan documents. Collect any funds due from Buyer and/or Seller

Record applicable documents with the County Recorder's office.

Close file. Prepare final statements. Disburse funds.

Forward final documents to all interested parties - Buyer, Seller, Real Estate Agents, Lender, Broker, Attorney, etc.

NEW LOAN

Notify Escrow with name of new lender and loan officer.

Send title report to lender.

Notification of final loan approval. Are repairs complete?

Deliver Seller & Buyer Closing Disclosures. Buyers’ consummation 3-6 days.

Loan documents delivered to escrow.

Return loan documents for final approval to fund and record.

Order loan funds.

Turn static files into dynamic content formats.

Create a flipbook
Homebook - 16080 SE Peace Ct by Lawyers Title Oregon - Issuu