Skip to main content

Homebook - 12601 Anita Pl

Page 1

12601 Anita Pl Oregon City, OR 97045 Lindsay Taylor Keller Williams Realty Portland Elite 12901 SE 97th Ave., #300 Clackamas, OR 97015
Property Profile HOMEBOOK

ClackamasCountyParcelInformation

ParcelInformation

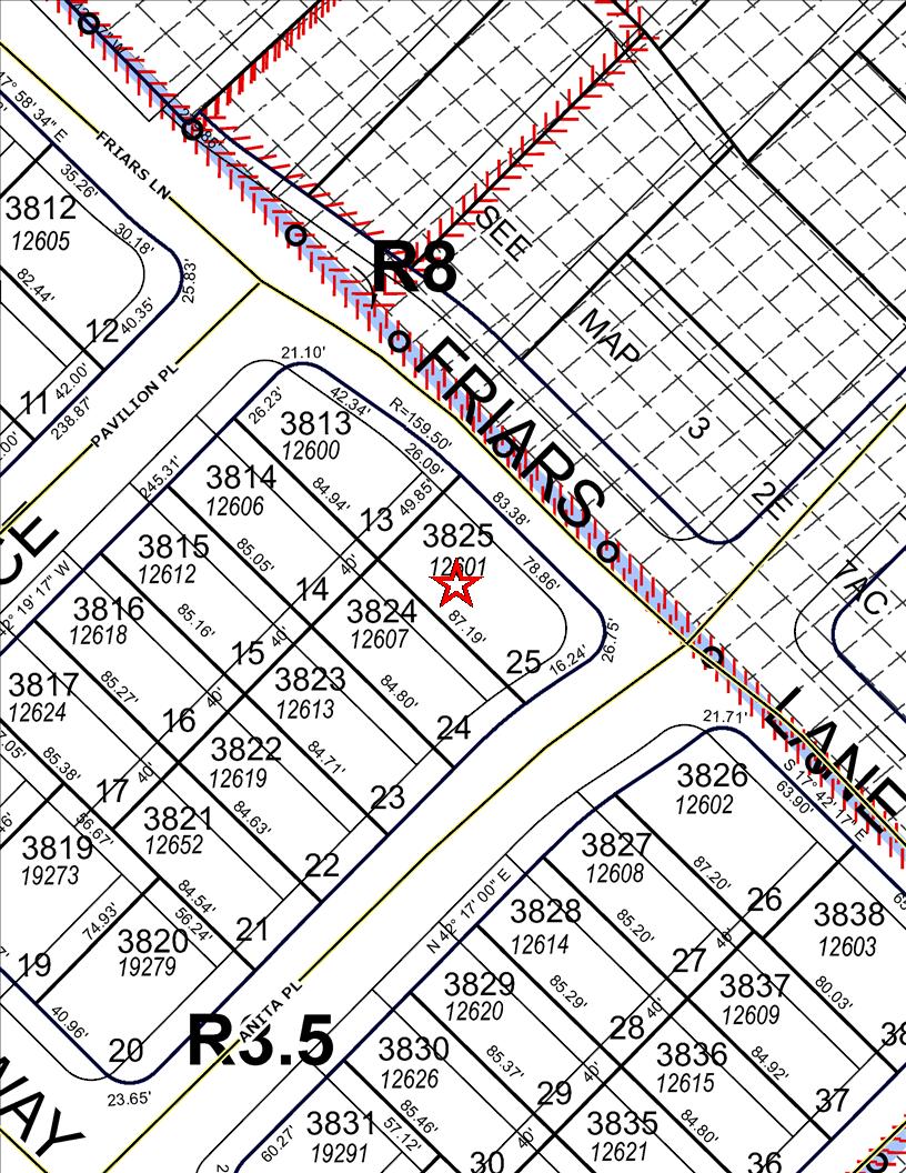
Parcel#:05022874

TaxLot:32E07BD03825

SiteAddress:12601AnitaPl

OregonCityOR97045-8158

Owner:AnitaPlaceLLC

Owner2:

OwnerAddress:POBox789

FairviewOR97024

Twn/Range/Section:03S/02E/07/NE

ParcelSize:010Acres(4,504SqFt)

Plat/Subdivision:PavilionPark

Lot:25

Block:

MapPage/Grid:717-C5

CensusTract/Block:022606/2009

Waterfront:

BuildingUse:RS0-SingleFamily

AssessmentInformation

MarketValueLand: $182,52600

MarketValueImpr: $416,65000

MarketValueTotal: $599,17600

AssessedValue: $303,09100

Land

CntyLandUse:101-Residentiallandimproved

Zoning:OregonCity-R35-DwellingDistrict

Watershed:AbernethyCreek-WillametteRiver

PrimarySchool:JohnMcLoughlinElementarySchool

HighSchool:OregonCitySeniorHighSchool

Improvement

YearBuilt:2011

Bedrooms:4

TaxInformation

LevyCodeArea:062-002

LevyRate:188091

TaxYear:2023

AnnualTax:$5,70087

ExemptDescription: Legal

SubdivisionPAVILIONPARK4294LT25

LandUseStd:RSFR-SingleFamilyResidence

Neighborhood:TowerVista

SchoolDistrict:62-OregonCity

MiddleSchool:GardinerMiddleSchool

Stories: Fin SqFt:2,536

Bathrooms:25

Garage:

ExteriorWallType: BasementFin SqFt: Fireplace: Heat: RoofType-Cover:

TransferInformation

Rec Date:12/08/2023

Owner:AnitaPlaceLLC

SalePrice:$648,00000

DocNum:2023-043320

Grantor:SHAFERJACOB&LANI

Orig LoanAmt: TitleCo:LAWYERSTITLE

FinanceType: LoanType: Lender:

DocType:Deed

SentryDynamics,Inc anditscustomersmakenorepresentations,warrantiesorconditions,expressorimplied,astotheaccuracyorcompletenessofinformation containedinthisreport

Thismap/platisbeingfurnishedasanaidinlocatingthehereindescribedLandinrelationtoadjoiningstreets,naturalboundariesandotherland,andisnotasurveyofthe landdepicted.Excepttotheextentapolicyoftitleinsuranceisexpresslymodifiedbyendorsement,ifany,theCompanydoesnotinsuredimensions,distances,locationof easements,acreageorothermattersshownthereon.

Thismap/platisbeingfurnishedasanaidinlocatingthehereindescribedLandinrelationtoadjoiningstreets,naturalboundariesandotherland,andisnotasurveyofthe landdepicted.Excepttotheextentapolicyoftitleinsuranceisexpresslymodifiedbyendorsement,ifany,theCompanydoesnotinsuredimensions,distances,locationof easements,acreageorothermattersshownthereon.
Barcode GeneralInformation AlternateProperty# 32E07BD03825 PropertyDescription SubdivisionPAVILIONPARK4294LT25 LastSalePrice $648,00000 LastSaleDate 12/20/2023 LastSaleExciseNumber 436204 PropertyCategory Land&/orBuildings Status Active,LocallyAssessed TaxCodeArea 062-002 Remarks TaxRate Description Rate Total Rate 18.8091 PropertyCharacteristics Neighborhood 13071: Oregon City newer subdivisions 100, 101 Land Class Category 101: Residential land improved Building Class Category 14: Single family res, class 4 Year Built 2011 Change property ratio 1XX Parties Role Percent Name Address Taxpayer 100 ANITA PLACE LLC PO BOX 789, FAIRVIEW, OR 97024 Tax Service Co. 100 CORELOGIC TAX SERVICES UNKNOWN, MILWAUKIE, OR 00000 Owner 100 ANITA PLACE LLC PO BOX 789, FAIRVIEW, OR 97024 PropertyValues ValueType TaxYear 2023 TaxYear 2022 TaxYear 2021 TaxYear 2020 TaxYear 2019 AVR Total $303,091 $294,264 $285,694 $277,373 $269,295 Exempt TVR Total $303,091 $294,264 $285,694 $277,373 $269,295 Real Mkt Land $182,526 $178,822 $150,253 $134,381 $130,678 Real Mkt Bldg $416,650 $408,820 $346,780 $312,860 $304,860 Real Mkt Total $599,176 $587,642 $497,033 $447,241 $435,538 M5 Mkt Land $182,526 $178,822 $150,253 $134,381 $130,678 M5 Mkt Bldg $416,650 $408,820 $346,780 $312,860 $304,860 M5 SAV SAVL (MAV Use Portion) MAV (Market Portion) $303,091 $294,264 $285,694 $277,373 $269,295 Mkt Exception AV Exception Parents ParcelNo. Seg/MergeNo. Status FromDate ToDate Continued DocumentNumber 00862392 SM100286 Completed 01/01/1980 01/01/2009 N 32E07B 03600 00862409 SM100286 Completed 01/01/1980 01/01/2009 N 32E07B 03600 00862418 SM100286 Completed 01/01/1980 01/01/2009 N 32E07B 03600 AccountNumber 05022874 PropertyAddress 12601 ANITA PL , OREGON CITY, OR 97045
Property Account Summary
00862427 SM100286 Completed 01/01/1980 01/01/2009 Y 32E07B 03600 00862436 SM100286 Completed 01/01/1980 01/01/2009 Y 32E07B 03600 00862445 SM100286 Completed 01/01/1980 01/01/2009 Y 32E07B 03600 Children ParcelNo. Seg/MergeNo. Status FromDate ToDate DocumentNumber No Children Found ActiveExemptions No Exemptions Found Events Effective Date EntryDate-Time Type Remarks 12/08/2023 12/20/2023 07:27:00 Recording Processed Property Transfer Filing No.: 436204, Warranty Deed, Recording No.: 2023-043320 12/08/2023 by SMALSOM 12/08/2023 12/20/2023 07:27:00 Taxpayer Changed Property Transfer Filing No.: 436204 12/08/2023 by SMALSOM 04/18/2023 04/18/2023 10:01:00 Annexation Completed For Property WITHDRAW WTR CLACK RIVER, ORD 21-1013-added to annexation by batch process 94,152. by DEENAMEH 12/13/2017 12/13/2017 09:41:00 Annexation Completed For Property ANNEX TO TRICITY SRV DIST. ORD 2017-28-added to annexation by batch process 74,502. by DEENAMEH 12/16/2016 12/28/2016 14:59:00 Recording Processed Property Transfer Filing No.: 308950, Warranty Deed, Recording No.: 2016-086695 12/16/2016 by AMANDAOLS 12/16/2016 12/28/2016 14:59:00 Taxpayer Changed Property Transfer Filing No.: 308950 12/16/2016 by AMANDAOLS 05/01/2013 05/01/2013 13:16:00 The situs address has changed by JEANETTE 02/29/2012 03/20/2012 17:03:00 Recording Processed Property Transfer Filing No.: 227141, Warranty Deed, Recording No.: 2012-011959 02/29/2012 by DROME 02/29/2012 03/20/2012 17:03:00 Taxpayer Changed Property Transfer Filing No.: 227141 02/29/2012 by DROME 11/09/2011 11/22/2011 13:08:00 Recording Processed Property Transfer Filing No.: 222797, Bargain & Sale, Recording No.: 2011-064784 11/09/2011 by LAURIEB 11/09/2011 11/22/2011 13:08:00 Taxpayer Changed Property Transfer Filing No.: 222797 11/09/2011 by LAURIEB 09/14/2011 09/15/2011 17:11:00 Recording Processed Property Transfer Filing No.: 220536, Warranty Deed, Recording No.: 2011-052146 09/14/2011 by LAURIEB 09/12/2011 09/13/2011 16:02:00 Recording Processed Property Transfer Filing No.: 220447, Warranty Deed, Recording No.: 2011-051454 09/12/2011 by LAURIEB 03/18/2010 03/18/2010 17:53:00 Created by Seg/Merge Created by Seg/Merge SM100286, Effective: 01/02/2009 by LAURIEB TaxBalance InstallmentsPayable TaxYear Category TCA/District Charged Minimum BalanceDue DueDate No Records Found InstallmentsPayable/PaidforTaxYear(Enter4-digitYear,thenClick-Here): 2023 Receipts Date ReceiptNo. AmountAppliedto Parcel TotalAmount Due Receipt Total Change 11/13/2023 00:00:00 5480683 (ReceiptDetail.aspx? receiptnumber=5480683) $5,700.87 $5,700.87 $5,529.84 $0.00 11/10/2022 00:00:00 5293776 (ReceiptDetail.aspx? receiptnumber=5293776) $5,376.58 $5,376.58 $5,215.28 $0.00 11/08/2021 00:00:00 5105162 (ReceiptDetail.aspx? receiptnumber=5105162) $5,160.35 $5,160.35 $5,005.54 $0.00 11/12/2020 00:00:00 4908606 (ReceiptDetail.aspx? receiptnumber=4908606) $5,012.91 $5,012.91 $4,862.52 $0.00
11/15/2019 00:00:00 4737858 (ReceiptDetail.aspx? receiptnumber=4737858) $4,906.69 $4,906.69 $4,759.49 $0.00
SaleDate EntryDate Recording Date Recording Number Sale Amount Excise Number Deed Type Transfer Type Grantor(Seller) Grantee(Buyer) Other Parcels 12/06/2023 12/20/2023 12/08/2023 2023043320 $648,000.00 436204 S SHAFER LANI & JACOB ANITA PLACE LLC No 12/07/2016 12/28/2016 12/16/2016 2016086695 $389,900.00 308950 S HUGHES ANDREA RAE SHAFER LANI & JACOB No 02/14/2012 03/20/2012 02/29/2012 2012011959 $269,900.00 227141 S ICON CONSTRUCTION & DEVELOPMENT LLC HUGHES ANDREA RAE No 11/07/2011 11/22/2011 11/09/2011 2011064784 $0.00 222797 S PAVILION PARK DEVELOPMENT LLC ICON CONSTRUCTION & DEVELOPMENT INC No 09/12/2011 09/15/2011 09/14/2011 2011052146 $275,000.00 220536 X PAVILION PARK DEVELOPMENT LLC PAVILION PARK DEVELOPMENT LLC No 09/06/2011 09/13/2011 09/12/2011 2011051454 $275,000.00 220447 X PAVILION PARK DEVELOPMENT LLC PAVILION PARK DEVELOPMENT LLC No
SalesHistory
LivingAreaSqFt ManfStructSize YearBuilt ImprovementGrade Stories Bedrooms FullBaths HalfBaths 2536 0 X 0 2011 42 2.0 4 2 1
PropertyDetails
AsOfDate: 4/17/2024
Statement TaxYear Category TCA/District Charged Minimum BalanceDue DueDate 2010 PropertyTaxInterest 062-088 $15.43 $0.00 $0.00 03/22/2011 2010 PropertyTaxPrincipal 062-088 $495.76 $0.00 $0.00 11/15/2010 2011 PropertyTaxPrincipal 062-088 $809.29 $0.00 $0.00 11/15/2011 2012 PropertyTaxPrincipal 062-088 $3,943.47 $0.00 $0.00 11/15/2012 2013 PropertyTaxPrincipal 062-088 $4,099.64 $0.00 $0.00 11/15/2013 2014 PropertyTaxPrincipal 062-088 $4,223.14 $0.00 $0.00 11/15/2014 2015 PropertyTaxPrincipal 062-088 $4,346.80 $0.00 $0.00 11/15/2015 2016 PropertyTaxPrincipal 062-088 $4,459.61 $0.00 $0.00 11/15/2016 2017 PropertyTaxPrincipal 062-088 $4,542.11 $0.00 $0.00 11/15/2017 2018 PropertyTaxPrincipal 062-064 $4,662.75 $0.00 $0.00 11/15/2018 2019 PropertyTaxPrincipal 062-064 $4,906.69 $0.00 $0.00 11/15/2019 2020 PropertyTaxPrincipal 062-064 $5,012.91 $0.00 $0.00 11/15/2020 2021 PropertyTaxPrincipal 062-064 $5,160.35 $0.00 $0.00 11/15/2021 2022 PropertyTaxPrincipal 062-064 $5,376.58 $0.00 $0.00 11/15/2022 2023 PropertyTaxPrincipal 062-002 $5,700.87 $0.00 $0.00 11/15/2023 TOTAL Due as of 04/17/2024 $0.00 ParcelNumber 05022874 PropertyAddress 12601 ANITA PL , OREGON CITY, OR 97045
Detailed
Neighborhood Information HOMEBOOK
Page 1
Report Subject Property Location Report Date: 04/17/2024 Property Address 12601 ANITA PL Order ID: R145833721 City, State & Zip OREGON CITY, OR 97045-8158 County CLACKAMAS COUNTY Property Use Single Family Residential Mailing Address PO BOX 789, FAIRVIEW, OR 97024-0789 Parcel Number 32E07BD03825 Subject Property Address 12601 ANITA PL, OREGON CITY, OR 97045 APN 32E07BD03825 Owner ANITA PLACE LLC, Lot Size (SF/AC) Bedrooms 4 Year Built 2011 Living Area (SF) 2,536 Bathrooms/Partial 2/1 Garage/No. of Cars Phones Nearby Neighbor #1 Address 12607 ANITA PL, OREGON CITY, OR 97045 APN 32E07BD03824 Owner BAYS GRANT & JORDYNN Lot Size (SF/AC) Bedrooms 3 Year Built 2012 Living Area (SF) 2,299 Bathrooms/Partial 2/1 Garage/No. of Cars Phones Nearby Neighbor #2 Address 12613 ANITA PL, OREGON CITY, OR 97045 APN 32E07BD03823 Owner BOHNERT CODY & VICTORIA BAILEY Lot Size (SF/AC) Bedrooms 5 Year Built 2012 Living Area (SF) 2,371 Bathrooms/Partial 2/1 Garage/No. of Cars Phones Nearby Neighbor #3 Address 12600 PAVILION PL, OREGON CITY, OR 97045 APN 32E07BD03813 Owner CUTINO JOSHUA T Lot Size (SF/AC) Bedrooms 3 Year Built 2013 Living Area (SF) 1,912 Bathrooms/Partial 2/1 Garage/No. of Cars Phones Nearby Neighbor #4 Address 12606 PAVILION PL, OREGON CITY, OR 97045 APN 32E07BD03814 Owner SHEVLIN PETER M & NATALIE N Lot Size (SF/AC) Bedrooms 3 Year Built 2012 Living Area (SF) 2,268 Bathrooms/Partial 2/1 Garage/No. of Cars Phones (503) 349-7212 Nearby Neighbor #5 Address 12551 ANITA PL, OREGON CITY, OR 97045 APN 32E07AC00600 Owner MCMARTIN, DONAVON LEE; JONES, PATRICIA LYNNE Lot Size (SF/AC) Bedrooms 3 Year Built 2007 Living Area (SF) 2,079 Bathrooms/Partial 2 Garage/No. of Cars Phones Nearby Neighbor #6 Address 12612 PAVILION PL, OREGON CITY, OR 97045 APN 32E07BD03815 Owner WOOD SUSAN K Lot Size (SF/AC) Bedrooms 3 Year Built 2012 Living Area (SF) 1,662 Bathrooms/Partial 2/1 Garage/No. of Cars Phones
Nearby Neighbors
Page 2 Nearby Neighbor #7 Address 12619 ANITA PL, OREGON CITY, OR 97045 APN 32E07BD03822 Owner STAYER ALMITRA Lot Size (SF/AC) Bedrooms 4 Year Built 2012 Living Area (SF) 2,220 Bathrooms/Partial 2/1 Garage/No. of Cars Phones Nearby Neighbor #8 Address 12602 ANITA PL, OREGON CITY, OR 97045 APN 32E07BD03826 Owner DODD RYAN N & CARRIE M Lot Size (SF/AC) Bedrooms 4 Year Built 2012 Living Area (SF) 2,226 Bathrooms/Partial 2/1 Garage/No. of Cars Phones (503) 954-1372 Nearby Neighbor #9 Address 12608 ANITA PL, OREGON CITY, OR 97045 APN 32E07BD03827 Owner AYALA GEORGE Lot Size (SF/AC) Bedrooms 4 Year Built 2012 Living Area (SF) 2,128 Bathrooms/Partial 2/1 Garage/No. of Cars Phones (503) 939-2618 Nearby Neighbor #10 Address 12618 PAVILION PL, OREGON CITY, OR 97045 APN 32E07BD03816 Owner JAMES KYLE D & MICHELLE A Lot Size (SF/AC) Bedrooms 3 Year Built 2012 Living Area (SF) 2,064 Bathrooms/Partial 2/1 Garage/No. of Cars Phones Nearby Neighbor #11 Address 12614 ANITA PL, OREGON CITY, OR 97045 APN 32E07BD03828 Owner CAMPBELL ANGELA C Lot Size (SF/AC) Bedrooms 3 Year Built 2012 Living Area (SF) 2,064 Bathrooms/Partial 2/1 Garage/No. of Cars Phones (503) 891-2190 Nearby Neighbor #12 Address 12625 ANITA PL, OREGON CITY, OR 97045 APN 32E07BD03821 Owner LEBLANC BRANDON M & KATIE L Lot Size (SF/AC) Bedrooms 3 Year Built 2012 Living Area (SF) 2,268 Bathrooms/Partial 2/1 Garage/No. of Cars Phones Nearby Neighbor #13 Address 19180 FRIARS LN, OREGON CITY, OR 97045 APN 32E07AC00500 Owner LIPPI, LEONARD RALPH; LIPPI, LINDA RAE Lot Size (SF/AC) Bedrooms 3 Year Built 2006 Living Area (SF) 2,053 Bathrooms/Partial 2 Garage/No. of Cars Phones Nearby Neighbor #14 Address 12563 ANITA PL, OREGON CITY, OR 97045 APN 32E07AC00700 Owner LINDBLAD ROBERT; MATHEWS ANGELA L Lot Size (SF/AC) Bedrooms 4 Year Built 2006 Living Area (SF) 2,812 Bathrooms/Partial 2/1 Garage/No. of Cars Phones

Disclaimer

THIS REPORT IS INTENDED FOR USE BY YOU AS AN END USER SOLELY FOR YOUR INTERNAL BUSINESS PURPOSES. YOU SHALL NOT RESELL, RELICENSE OR REDISTRIBUTE THIS REPORT, IN WHOLE OR IN PART. THE USE OF THIS REPORT BY ANY PARTY OTHER THAN YOURSELF FOR ANY PURPOSE IS STRICTLY PROHIBITED. THIS REPORT IS PROVIDED AS-IS WITHOUT WARRANTY OF ANY KIND, EITHER EXPRESS OR IMPLIED, INCLUDING WITHOUT LIMITATION, ANY WARRANTIES OF MERCHANTABILITY, NON-INFRINGEMENT, OR FITNESS FOR A PARTICULAR PURPOSE. INTERCONTINENTAL EXCHANGE, INC. (ICE) SHALL HAVE NO LIABILITY IN CONTRACT, TORT, OR OTHERWISE ARISING OUT OF OR IN CONNECTION WITH THIS REPORT. ICE DOES NOT REPRESENT OR WARRANT THAT THE REPORT IS COMPLETE OR FREE FROM ERROR. YOU UNDERSTAND AND ACKNOWLEDGE THAT THE AVAILABILITY, COMPLETENESS AND FORMAT OF THE DATA ELEMENTS MAY VARY SUBSTANTIALLY FROM AREA-TO-AREA. THE INFORMATION CONTAINED IN THIS REPORT IS DERIVED FROM PUBLICLY AVAILABLE SOURCES FOR THE SUBJECT PROPERTY OR COMPARABLE PROPERTIES LISTED ABOVE AND HAS NOT BEEN INDEPENDENTLY VERIFIED BY ICE THROUGH ANY FORM OF INSPECTION OR REVIEW. THIS REPORT DOES NOT CONSTITUTE AN APPRAISAL OF ANY KIND AND SHOULD NOT BE USED IN LIEU OF AN INSPECTION OF A SUBJECT PROPERTY BY A LICENSED OR CERTIFIED APPRAISER. THIS REPORT CONTAINS NO REPRESENTATIONS, OPINIONS OR WARRANTIES REGARDING THE SUBJECT PROPERTY'S ACTUAL MARKETABILITY, CONDITION (STRUCTURAL OR OTHERWISE), ENVIRONMENTAL, HAZARD OR FLOOD ZONE STATUS, AND ANY REFERENCE TO ENVIRONMENTAL, HAZARD OR FLOOD ZONE STATUS IS FOR INFORMATIONAL PURPOSES ONLY AND SHALL BE INDEPENDENTLY VERIFIED BY THE END USER. THE INFORMATION CONTAINED HEREIN SHALL NOT BE UTILIZED: (A) TO REVIEW OR ESTABLISH A CONSUMER'S CREDIT AND/OR INSURANCE ELIGIBILITY OR FOR ANY OTHER PURPOSE THAT WOULD CAUSE THE REPORT TO CONSTITUTE A "CONSUMER REPORT" UNDER THE FAIR CREDIT REPORTING ACT, 15 U.S.C. § 1681 ET SEQ.; OR (B) IN CONNECTION WITH CERTIFICATION OR AUTHENTICATION OF REAL ESTATE OWNERSHIP AND/OR REAL ESTATE TRANSACTIONS. ADDITIONAL TERMS AND CONDITIONS SHALL APPLY PURSUANT TO THE APPLICABLE AGREEMENT.

Copyright

CONFIDENTIAL, PROPRIETARY AND/OR TRADE SECRET. TM SM ® TRADEMARK(S) OF INTERCONTINENTAL EXCHANGE, INC. AND ITS SUBSIDIARIES AND AFFILIATES.

© 2024 INTERCONTINENTAL EXCHANGE, INC. ALL RIGHTS RESERVED.

Page 3
Address 12620 ANITA PL, OREGON CITY, OR 97045 APN 32E07BD03829 Owner HEIN RIKKI RENE Lot Size (SF/AC) Bedrooms 3 Year Built 2012 Living Area (SF) 1,652 Bathrooms/Partial 2/1 Garage/No. of Cars Phones
Nearby Neighbor #15
Utilities HOMEBOOK

Please Use/Click on this Digital U lity Link

Most u lity service providers require you to go online, fill out a form and e-mail back, or use their online service.

Hereforthe OregonSchoolReportCards
School Information HOMEBOOK Click

School Information

Banks

503 . 324 . 8591 | www.banks.k12.or.us

Beaverton

503 672 3721 | www.beaverton.k12.or.us

Canby

503 266 7861 | boundaries: 503 266 2064 | www.canby.k12.or.us

Centennial

503 760 7990 | www.centennial.k12.or.us

North Clackamas

503 . 653 . 6000 | boundaries: 503 . 353 . 6119 | www.nclack.k12.or.us

Colton

503 824 3535 | boundaries: 503 824 3534 | www.colton.k12.or.us

David Douglas

503 . 252 . 7990 | www.centennial.k12.or.us

Estacada

503 . 630 . 6871 | www.esd108.k12.or.us

Forest Grove

503 357 6171 | boundaries: 503 359 8167 x 221 | www.fgsd.k12.or.us

Gladstone

503 . 655 . 2777 | www.gladstone.k12.or.us

Gresham / Barlow

503 . 618 . 2450 | www.gresham.k12.or.us

Hillsboro

503 844 1500 | boundaries: 503 648 9123 | www.hsd.k12.or.us

Lake Oswego

503 . 534 . 2000 | boundaries: 503 . 534 . 2490 | www.loswego.k12.or.us

McMinnville 503 565 4000 | www.msd.k12.or.us

Molalla River

503 . 829 . 2359 | boundaries: 503 . 829 . 2512 | www.molallariv.k12.or.us Newberg 503 554 5000 | boundaries: 503 538 8365 | www.newberg.k12.or.us

Oregon City 503 657 4283 | boundaries: 503 657 2471 | www.orecity.k12.or.us

Tigard / Tualatin

West Linn / Wilsonville

Woodburn

503 . 981 . 9555 | www.woodburn.k12.or.us

School Information
Oregon Trail 503 668 5541 | www.oregonrailschools.k12.or.us Parkrose 503 408 2100 | www.parkrose.k12.or.us Portland 503 916 2000 | boundaries: 503 916 3262 | www.pps.k12.or.us Reynolds 503 . 661 . 7200 | boundaries: 503 . 492 . 4921 | www.reynolds.k12.or.us
Sherwood 503 625 8100 | boundaries: 503 625 8107 | www.sherwood.k12.or.us
503 431 4000 | www.ttsd.k12.or.us
503 . 673 . 7000 | boundaries: 503 . 673 . 7034 | www.wlwv.k12.or.us

School Information

County G School Type Tuition Range A(%) E(#)C(#)M(#) U Washington County (OR) 1. Agia Sophia Academy PK-5 Montessori $6,600–8,300 95 30 12 Yes 2. Catlin Gabel School PK-12 College Prep $27,190–34,100 26 776 17 61 No 4. Forest Hills Lutheran Christian School PK-8 Lutheran $6,531–6,875 98 197 18 No 5. German International School PK-5 Language Immersion, INTL Baccalaureate $15,110–15,275 98 144 12 10 No 6. Holy Trinity Catholic School PK-8 Catholic $6,600–8,400 285 30 Yes 7. Horizon Christian School PK-12 College Prep $4,650–11,975 95 411 14 24 No 8 Islamic School of MET PK-12 Muslim College Prep $7,750–8,250 90 206 16 5 Yes 9. Jesuit High School 9-12 College Prep $15,475 71 1274 23 86 No 11. Living Wisdom School PK-8 Education for Life $7,200–9,100 95 38 12 No 12. Montessori School of Beaverton PK-6 Montessori $11,400–12,000 80 120 1010 No 13. Northwest Chinese Academy PK-5 Language Immersion $17,250–19,525 96 33 77 Yes 14. Oregon Episcopal School PK-12 College Prep $28,900–35,000 43 858 16 72 Yes 15. Pilgrim Lutheran Christian School PK-8 Christian $6,850–8,295 12512 5 Yes 16. St. Matthew Catholic School PK-8 Catholic $6,850–8,600 99 184 21 16 Yes 17. St. Pius X Grade School K-8 Catholic $7,240–9,430 85 492 3029 Yes 18. St. Stephen‘s Academy PK-12 Classical Christian $5,160–10,620 96 256 1610 Yes 19. Tualatin Valley Academy PK-12 Christian $4,980–9,108 99 175 20 8 No Grade Range Acceptance Rate A 2014-2015 Enrollment E G

School Information

County G School Type Tuition Range A(%) E(#)C(#) M(#) U Washington County (OR) 20. Valley Catholic Elementary School K-5 Catholic $8,520 337 13 Yes 21. Valley Catholic Middle School 6-8 College Prep $11,610 252 24 Yes 22. Valley Catholic High School 9-12 College Prep $14,685 370 28 No 23. Visitation Catholic School PK-8 Catholic $4,793–5,868 98 165 20 8 Yes Multnomah County (OR) 1. A Renaissance School of Arts and Sciences K-8 Progressive $14,440 90 115 8 9 No 2. Central Catholic High School 9-12 College Prep, Catholic $15,378–19,000 98 850 21 52 No 3. Childpeace Montessori School, Metro Middle School PK-8 Montessori $11,600–17,300 6 254 26 10 No 4. Columbia Christian School PK-12 Christian, College Prep $4,000–8,000 95 250 20 18 No 5. Edison High School 9-12 Learning Differences $24,650 50 102 9 14 No 6. French American International School PK-8 Language Immersion $18,296–21,113 79 451 16 48 No 7. Grace Lutheran School PK-8 Lutheran $2,825–6,695 95 88 22 1 No 8. Holy Redeemer Catholic School PK-8 Catholic $5,450–7,775 95 304 27 11 Yes 9. Northwest Academy 6-12 College Prep $22,900–24,400 75 240 15 26 No 10. Open Door Christian Academy PK-12 Christian $2,210–3,940 50 285 25 5 No 11. Pacific Crest Community School 6-12 College Prep $14,250 70 95 12 9 No Average Class Size C Required clothing or Uniforms? U Faculty with Master’s Degrees M

School Information

Grade Range Acceptance Rate A 2018-2019 Enrollment E G County G School Type Tuition Range A(%) E(#)C(#)M(#) U Multnomah County (OR) 12. Portland Christian Schools PK-12 College Prep $7,400–11,335 94 547 42 30 No 13. Portland Jewish Academy PK-8 Jewish $19,415–20,035 60 18818 No 14. St. Agatha Catholic School PK-8 Catholic $6,350–7,930 60 18818 No 15. St. Clare School K-8 Catholic $6,600–8,400 100 20726 Yes 16. St. John Fisher School K-8 Catholic $7,160–9,335 89 200 24 17 Yes 17. St. Mary’s Academy 9 - 12 College Prep $15,995 97 680 21 46 No 18. St. Rose School PK-8 Catholic $6,190–7,840 94 224 25 12 Yes 19. Sunstone Montessori School PK-6 Montessori $11,900–12,800 90 172 26 14 No 20. The International School PK-5 Language Immersion $19,040–19,640 87387 14 24 No 21. The Madeleine School K-8 Catholic $6,065–7,750 95 264 30 11 Yes 22. The Portland Montessori School PK-6 Montessori $10,725–11,600 80 151 24 7 No 23. Trinity Lutheran Christian School K-8 Lutheran $7,300 1005210 24. Tucker Maxon School PK-5 Independent $8,200–17,000 91 45 1212 No 25. Venn Academy K-8 Relationship BasedLearning $11,000 50-60 18 9 26. West Hills Christian School K-8 Christian $5,800–8,875 90 308 18 11 No 27 West Hills Montessori PK-6 Montessori $11,495–12,255 80 125 25 15 No

School Information

Average Class Size C Required clothing or Uniforms? U Faculty with Master’s Degrees M County G School Type Tuition Range A(%) E(#)C(#)M(#) U Clackamas County (OR) 1. Arbor School of Arts and Sciences K-8 Progressive $14,400 29 189 21 24 No 2. Christa McAuliffe Academy School of Arts and Sciences K-12 College Prep $3,995–8,795 100 380 10 12 No 3. La Salle Catholic College Prep 9-12 College Prep $14,750 85 703 19 45 No 4 Micha-el School PK-8 Waldorf $6,370–8,340 95 110 18 9 No 5. North Clackamas Christian School PK-12 Christian $6,353–7,860 95 263 1815 No 6. Park Academy 3-12 Learning differences $21,000 96 10 7. Portland Waldorf School PK-12 Waldorf $11,275–19,595 325 20 8. Spring Mountain Christian Academy K-12 Christian $3,460$4,440 90 165 12 4 No 9. St. John the Apostle Catholic School PK-8 Catholic $6,499 98 190 18 9 Yes 10. The Marylhurst School PK-8 Progressive $11,000 80 85 18 7 No Clark County (WA) 1. Cascadia School 1 - 6 Montessori $9,960–10,440 90 98 22 3 No 2. Cedar Tree Classical Christian School K - 12 College Prep $6,600–6,960 75 213 16 8 Yes 3. The Gardner School of Arts & Sciences PK - 8 Independent $16,950–18,550 37 10 4 Our Lady Of Lourdes Catholic School PK-8 Catholic $7,034–8,975 98 232 22 10 Yes

CCR’s: Pavilion Park

QR Code for CCR’s
Scan

Turn static files into dynamic content formats.

Create a flipbook