Skip to main content

Homebook - 10627 SW Tualatin Dr

Page 1


County Name: Washington APN / Parcel Number: R1470884

Current Ownership: Lisa & Douglas Rechsteiner

Site Address: 10627 SW Tualatin Dr, Portland OR 97224 Mail Address: 10627 SW Tualatin Dr, Tigard OR 97224 *Owner Occupied

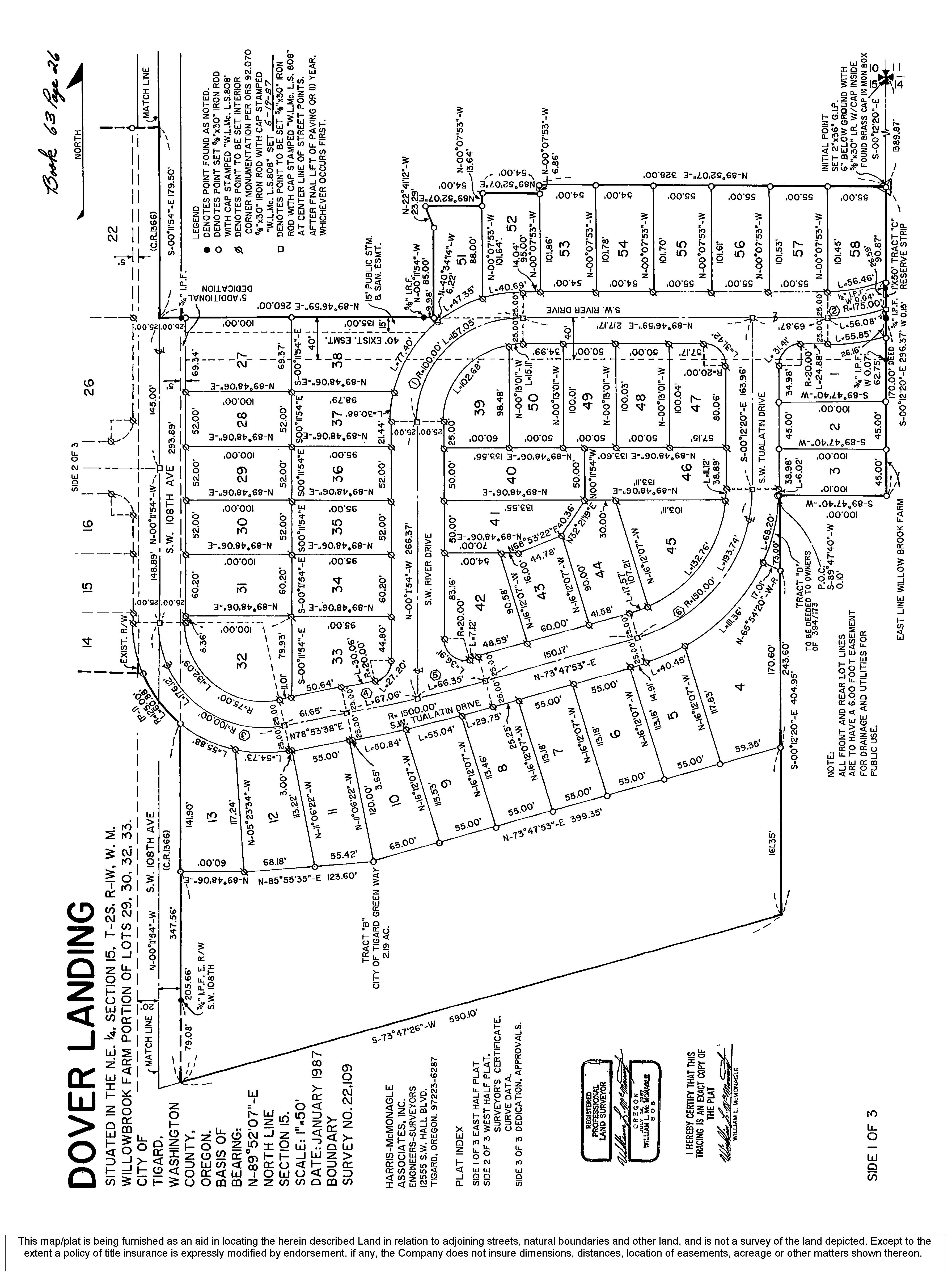
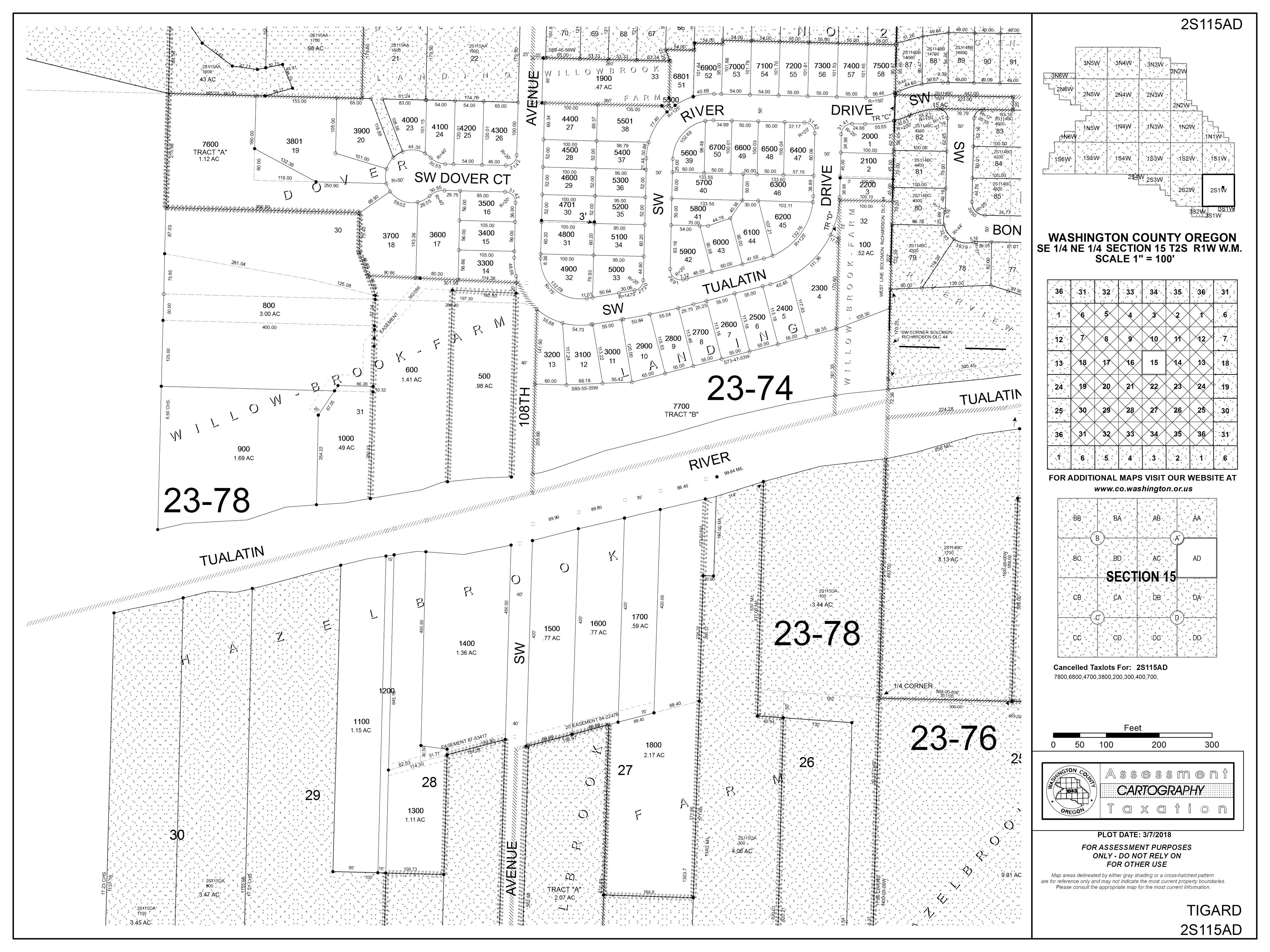
Tract / Subdivision: / Dover Landing

Tract / Block: 030805 / 3008

SentryDynamics,Inc anditscustomersmakenorepresentations,warrantiesor conditions,expressorimplied,astotheaccuracyorcompletenessof informationcontainedinthisreport

ParcelID:R1470884

ParcelID:R1470884

SiteAddress:10627SWTualatinDr

SentryDynamics,Inc anditscustomersmakenorepresentations,warrantiesor conditions,expressorimplied,astotheaccuracyorcompletenessof informationcontainedinthisreport

ParcelID:R1470884

SiteAddress:10627SWTualatinDr

SentryDynamics,Inc anditscustomersmakenorepresentations,warrantiesor conditions,expressorimplied,astotheaccuracyorcompletenessof informationcontainedinthisreport

Details Bills PaymentHistory

2025GENERALINFORMATION

PropertyStatus AActive

PropertyType Residential

LegalDescription DOVERLANDING,LOT42,ACRES 0.15

AlternateAccountNumber -

Neighborhood COOKCOOKPARK,PICK'SLANDING

MapNumber 2S115AD05900

PropertyUse 1010:RESIDENTIALIMPROVED

LevyCodeArea 023.74

2024CertiedTaxRate 17.5603

2025OWNERINFORMATION

OwnerName RECHSTEINER,LISA&RECHSTEINER, DOUGLAS

MailingAddress 10627SWTUALATINDRTIGARD,OR 97224 RELATEDPROPERTIES

LinkedPropertiesPropertyGroupIDGroupedProperties -

Split/MergeDateSplit/MergeAccountsSplit/MergeMessage -

2024IMPROVEMENTS

 Improvement#1 ImprovementType Beds/Baths - Single-FamilyResidence 3/3

2024LANDSEGMENTS

Expand/CollapseAll

Sketch

SALESHISTORY

8/15/2018 VANDERHEIDEN, ANN&JONES, JASONJESS RECHSTEINER,LISA &RECHSTEINER, DOUGLAS

6/21/2007 TEHAN,WENDYF VANDERHEIDEN, ANN&JONES, JASONJESS

TEHAN,JOSEPH M/WENDYF TEHAN,WENDYF 2002095266 - DBS

11/30/1992 TEJADILLA,JOSEL TEHAN,JOSEPH M/WENDYF

TAXSUMMARY

$0.00

Assigned School

Primary School: James Templeton Elementary School

Middle School: Twality Middle School

High School: Tigard High School

Primary School

James Templeton Elementary School 2

Middle School

Twality Middle School 3

High School

Tigard High School 1

Other School

1. Tigard High School

Distance: 0.91 mile(s)

Address: 9000 Sw Durham Rd District: Tigard-Tualatin Sd 23J Type: 1-Regular school

Charter: No Magnet:

Title 1 Elig: 2-No

Students: 1,782

Title 1: 6-Not a Title I school Grade Levels: 9th Grade - 12th Grade

Male / Female: 932 / 820 Distance: 1 13 mile(s)

2. James Templeton Elementary School

Address: 9500 Sw Murdock St District: Tigard-Tualatin Sd 23J

Charter: No Magnet:

Title 1 Elig: 1-Yes

Title 1: 5-Title I schoolwide school

Type: 1-Regular school

Students: 543

Levels: Prekindergarten - 5th Grade

Male / Female: 278 / 262 Distance: 1.17 mile(s)

3. Twality Middle School

Address: 14650 Sw 97Th Ave District: Tigard-Tualatin Sd 23J Type: 1-Regular school

Charter: No Magnet:

Title 1 Elig: 2-No

Male / Female: 502 / 472

Students: 977

Title 1: 6-Not a Title I school Grade Levels: 6th Grade - 8th Grade

STEPS IN A REAL ESTATE TRANSACTION

1

What is an Escrow?

THE LISTING AGREEMENT

The property owner (Seller) initiates a contract, or a listing agreement, with a licensed Real Estate Agent.

2

THE SALE

Property owner (Seller) enters into a purchase contract, typically referred to as an Earnest Money Agreement, with a Buyer.

3

ESCROW

As part of the purchase contract, Seller agrees to purchase a title insurance policy for the Buyer and both agree to close the transaction with a licensed escrow company. In Oregon, most title insurance companies also offer escrow services to facilitate a convenient “one-stop” approach to closing real estate transactions.

An escrow is a neutral third party depository for legal documents and funds necessary to complete a real estate transaction. The escrow agent will disburse funds and record documents for the proper recipients according to their written instructions.

What title insurance and escrow costs are incurred in a real estate sale?

The fee for escrow services is based on the sales price of the property. This fee is typically split equally between the Seller and Buyer. However, Buyers should check with their lenders if financing is involved because some federally insured lending programs do not allow borrowers to pay this fee. The Seller typically pays for a standard owner’s policy of title insurance which names the Buyer as the insured. Charges for this policy are based on the sales price of the property. The Buyer typically pays for a lender’s policy of title insurance and any required endorsements if s/he is obtaining a new loan to purchase the property. Charges for this policy are based on the loan amount.

What services does an escrow agent perform on behalf of the Seller and Buyer?

• Upon opening of escrow, escrow agent will order a preliminary title report, which will be sent to all interested parties involved in the transaction. The report will detail the current ownership, liens and encumbrances of the property.

• Closing statements will be prepared for each party, showing all credits and debits. The escrow agent will schedule appointments for all parties to sign their final necessary documents, including any funds needed to be deposited, to complete the transaction.

• Signed loan documents are returned to the Lender, for final review and funding approval.

• Recordable documents are released to the County Clerk’s office for recording.

• Once recorded, all funds are disbursed per written instructions.

• Final title policies are issued to the insured parties.

FROM PENDING TO SOLD

ESCROW FLOW CHART

Receive and review Earnest Money Agreement and Broker’s instructions.

Open escrow. Order title report.

Determine financing.

Information gathering from Buyer and Seller.

Receive title report. Send copies to all parties in the transaction.

Resolve any title issues. Order any payoff demands.

Review file. Are conditions satisfied? Contingencies removed?

Prepare closing statement, closing instructions and transfer deed

Obtain signatures on all escrow and loan documents. Collect any funds due from Buyer and/or Seller

Record applicable documents with the County Recorder's office.

Close file. Prepare final statements. Disburse funds.

Forward final documents to all interested parties - Buyer, Seller, Real Estate Agents, Lender, Broker, Attorney, etc.

NEW LOAN

Notify Escrow with name of new lender and loan officer.

Send title report to lender.

Notification of final loan approval. Are repairs complete?

Deliver Seller & Buyer Closing Disclosures. Buyers’ consummation 3-6 days.

Loan documents delivered to escrow.

Return loan documents for final approval to fund and record.

Order loan funds.

Turn static files into dynamic content formats.

Create a flipbook
Homebook - 10627 SW Tualatin Dr by Lawyers Title Oregon - Issuu