Transaction History
This information has been furnished, without charge, in conformance with the guidelines approved by the State of Oregon Insurance Commissioner. The Insurance division cautions intermediaries that this service is designed to benefit the ultimate insureds. Indiscriminate use only benefiting intermediaries will not be permitted. Said Services may be discontinued. No liability is assumed for any errors in this report.
AllinformationprovidedbyValueCheck,Incisdeemedreliable,butnotguaranteed. Accuracyoftheinformationmayvarybycounty.
Copyright © 2025 ValueCheck, Inc.
SubjectPropertyLocation
PropertyAddress
5435SWALLOWTAILSTSE
City,State&Zip SALEM,OR97306-1193
County MARIONCOUNTY
MailingAddress
5435SWALLOWTAILSTSE,SALEM,OR97306-1193
OwnerName YOUNG,MARYTHERESA
ReportDate:03/28/2025
OrderID:R178391709
ParcelNumber 083W14AD10700
SubjectPropertyLocation
PropertyAddress 5435SWALLOWTAILSTSE
City,State&Zip SALEM,OR97306-1193
County MARIONCOUNTY
ReportDate:03/28/2025
OrderID:R178391712
ParcelNumber 083W14AD10700
Disclaimer
THISREPORTISINTENDEDFORUSEBYYOUASANENDUSERSOLELYFORYOURINTERNALBUSINESSPURPOSES.YOUSHALLNOTRESELL,RELICENSEORREDISTRIBUTETHISREPORT,INWHOLEORIN PART THEUSEOFTHISREPORTBYANYPARTYOTHERTHANYOURSELFFORANYPURPOSEISSTRICTLYPROHIBITED.THISREPORTISPROVIDEDAS-ISWITHOUTWARRANTYOFANYKIND,EITHEREXPRESS ORIMPLIED,INCLUDINGWITHOUTLIMITATION,ANYWARRANTIESOFMERCHANTABILITY,NON-INFRINGEMENT,ORFITNESSFORAPARTICULARPURPOSE.INTERCONTINENTALEXCHANGE,INC.(ICE)SHALL HAVENOLIABILITYINCONTRACT,TORT,OROTHERWISEARISINGOUTOFORINCONNECTIONWITHTHISREPORT.ICEDOESNOTREPRESENTORWARRANTTHATTHEREPORTISCOMPLETEORFREEFROM ERROR.YOUUNDERSTANDANDACKNOWLEDGETHATTHEAVAILABILITY,COMPLETENESSANDFORMATOFTHEDATAELEMENTSMAYVARYSUBSTANTIALLYFROMAREA-TO-AREA.THEINFORMATION CONTAINEDINTHISREPORTISDERIVEDFROMPUBLICLYAVAILABLESOURCESFORTHESUBJECTPROPERTYORCOMPARABLEPROPERTIESLISTEDABOVEANDHASNOTBEENINDEPENDENTLYVERIFIEDBY ICETHROUGHANYFORMOFINSPECTIONORREVIEW THISREPORTDOESNOTCONSTITUTEANAPPRAISALOFANYKINDANDSHOULDNOTBEUSEDINLIEUOFANINSPECTIONOFASUBJECTPROPERTYBYA LICENSEDORCERTIFIEDAPPRAISER.THISREPORTCONTAINSNOREPRESENTATIONS,OPINIONSORWARRANTIESREGARDINGTHESUBJECTPROPERTY'SACTUALMARKETABILITY,CONDITION(STRUCTURAL OROTHERWISE),ENVIRONMENTAL,HAZARDORFLOODZONESTATUS,ANDANYREFERENCETOENVIRONMENTAL,HAZARDORFLOODZONESTATUSISFORINFORMATIONALPURPOSESONLYANDSHALLBE INDEPENDENTLYVERIFIEDBYTHEENDUSER.THEINFORMATIONCONTAINEDHEREINSHALLNOTBEUTILIZED:(A)TOREVIEWORESTABLISHACONSUMER'SCREDITAND/ORINSURANCEELIGIBILITYORFOR ANYOTHERPURPOSETHATWOULDCAUSETHEREPORTTOCONSTITUTEA"CONSUMERREPORT"UNDERTHEFAIRCREDITREPORTINGACT,15U.S.C.§1681ETSEQ.;OR(B)INCONNECTIONWITH CERTIFICATIONORAUTHENTICATIONOFREALESTATEOWNERSHIPAND/ORREALESTATETRANSACTIONS.ADDITIONALTERMSANDCONDITIONSSHALLAPPLYPURSUANTTOTHEAPPLICABLEAGREEMENT Copyright CONFIDENTIAL,PROPRIETARYAND/ORTRADESECRET TMSM®TRADEMARK(S)OFINTERCONTINENTALEXCHANGE,INC.ANDITSSUBSIDIARIESANDAFFILIATES. ©2025INTERCONTINENTALEXCHANGE,INC.ALLRIGHTSRESERVED.


Account ID:
338696
Tax Account ID:
338696
Tax Roll Type:
Real Property
Situs Address:
5435 SWALLOWTAIL ST SE SALEM OR 97306 Map Tax Lot:
083W14AD10700
Owner:
YOUNG, MARY THERESA 5435 SWALLOWTAIL ST SE
SALEM, OR 97306
Owner History
Manufactured Home Details: Other Tax Liability: Subdivision: WOODSCAPE GREEN PHASE 1 IN SALEM LOT 16
Related Accounts:
YOUNG, MARY THERESA 5435
SWALLOWTAIL ST SE
SALEM OR 97306
SMITH,MATTHEW L 5435 SWALLOWTAIL ST SE
SMITH, MATTHEW L 5435 SWALLOWTAIL ST SE SALEM OR 97306
SALEM OR 97306 SUNCO CONSTRUCTION CO INC 2015 COMMERCIAL ST NE SALEM OR 97301
SUNCO CONSTRUCTION CO INC 2015 COMMERCIAL ST NE
SALEM OR 97306
WILDWOOD INC 4985 BATTLE CREEK RD SE #200
SALEM OR 97302
WILDWOOD INC 4985 BATTLE CREEK RD SE #200
SALEM OR 97302
5/20/2024 $571,000.00 33 1 5/20/2024 DEED
7/2/2007
$392,500.00 00 1 7/2/2007 28350359 WD 338696
3/21/2006 $72,500.00 22 1 3/21/2006 26380439 WD 338696
2/23/2006 T.P.45-161 PAPL
338681, 338682, 338683, 338684, 338685, 338686, 338687, 338688, 338689, 338690, 338691, 338692, 338693, 338694, 338695, 338696, 338697, 338698, 338699, 338700, 338701, 338702, 338703, 338704, 338705, 338706, 338709, 338710, 338711, 338712, 338713, 338714, 338715, 338716, 338717, 338718, 338719, 338720, 338721, 338722
Levy, Owed
PropertyAddress 5435SWALLOWTAILSTSE
City,State&Zip SALEM,OR97306-1193
County MARIONCOUNTY
MailingAddress 5435SWALLOWTAILSTSE,SALEM,OR97306-1193
ReportDate:03/28/2025
OrderID:R178391710
SubjectPropertyLocation
PropertyAddress 5435SWALLOWTAILSTSE
City,State&Zip SALEM,OR97306-1193
County MARIONCOUNTY
MailingAddress 5435SWALLOWTAILSTSE,SALEM,OR97306-1193
Owner HARTMAN,DOUGLASC;HARTMAN,KARENE
Owner CLARKLT&CLARK,GERALDE(TRE)&CLARK,SANDRAK(TRE)
ofCars
NearbyNeighbor#6
Address
Owner EDWARDS,DEBORAHD
NearbyNeighbor#7
Address 2401EGRETAVESE,SALEM,OR97306
Owner KARLS&SHARELLPONDJRLT&POND,KARLS(TRE)&POND,SHARELL (TRE)
ReportDate:03/28/2025
OrderID:R178391503
NearbyNeighbor#8
Address 5414SALALSTSE,SALEM,OR97306
Owner BROWN,IANL&BROWN,BECKIEM
Bedrooms 2 YearBuilt
2
NearbyNeighbor#9
ofCars
Address 5438SWALLOWTAILSTSE,SALEM,OR97306
Owner CUSHMAN,MICHAELGVALENCIA-CUSHMAN,CORINAE
3 YearBuilt
ofCars
NearbyNeighbor#10
Address 2525EGRETAVESE,SALEM,OR97306
Owner HALLAM,EVANJOSEPH&HALLAM,BRIANNARENEE
3 YearBuilt
2
Owner
NearbyNeighbor#14 Address
Owner STACYRSWIDERSKILT&SWIDERSKI,STACYR(TRE)&SWIDERSKI, DAVIDC(TRE)
TSUKAMAKI,WILLIAM&TSUKAMAKI,SALLY
INCONTRACT,TORT,OROTHERWISEARISINGOUTOFORINCONNECTIONWITHTHISREPORT.ICEDOESNOTREPRESENTORWARRANTTHATTHEREPORTISCOMPLETEORFREEFROM ERROR.YOUUNDERSTANDANDACKNOWLEDGETHATTHEAVAILABILITY,COMPLETENESSANDFORMATOFTHEDATAELEMENTSMAYVARYSUBSTANTIALLYFROMAREA-TO-AREA.THEINFORMATION CONTAINEDINTHISREPORTISDERIVEDFROMPUBLICLYAVAILABLESOURCESFORTHESUBJECTPROPERTYORCOMPARABLEPROPERTIESLISTEDABOVEANDHASNOTBEENINDEPENDENTLYVERIFIEDBY ICETHROUGHANYFORMOFINSPECTIONORREVIEW THISREPORTDOESNOTCONSTITUTEANAPPRAISALOFANYKINDANDSHOULDNOTBEUSEDINLIEU
SubjectPropertyLocation
PropertyAddress 5435SWALLOWTAILSTSE
City,State&Zip SALEM,OR97306-1193
County MARIONCOUNTY
MailingAddress 5435SWALLOWTAILSTSE,SALEM,OR97306-1193
PublicSchoolSummary
SchoolName
PringleElementarySchool
LeeElementarySchool
LeslieMiddleSchool
SpragueHighSchool
ReportDate:03/28/2025
OrderID:R178391711
GradeKG-Grade5
GradeKG-Grade5
Grade6-Grade8
Grade9-Grade12
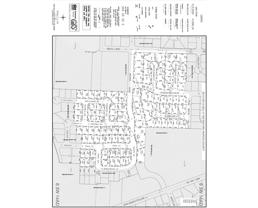
This map/plat is being furnished as an aid in locating the herein described Land in relation to adjoining streets, natural boundaries and other land, and is not a survey of the land depicted. Except to the extent a policy of title insurance is expressly modified by endorsement, if any, the Company does not insure dimensions, distances, location of easements, acreage or other matters shown thereon.
This map/plat is being furnished as an aid in locating the herein described Land in relation to adjoining streets, natural boundaries and other land, and is not a survey of the land depicted. Except to the extent a policy of title insurance is expressly modified by endorsement, if any, the Company does not insure dimensions, distances, location of easements, acreage or other matters shown thereon.
This map/plat is being furnished as an aid in locating the herein described Land in relation to adjoining streets, natural boundaries and other land, and is not a survey of the land depicted. Except to the extent a policy of title insurance is expressly modified by endorsement, if any, the Company does not insure dimensions, distances, location of easements, acreage or other matters shown thereon.
This map/plat is being furnished as an aid in locating the herein described Land in relation to adjoining streets, natural boundaries and other land, and is not a survey of the land depicted. Except to the extent a policy of title insurance is expressly modified by endorsement, if any, the Company does not insure dimensions, distances, location of easements, acreage or other matters shown thereon.
STEPS IN A REAL ESTATE TRANSACTION
1
What is an Escrow?
THE LISTING AGREEMENT
The property owner (Seller) initiates a contract, or a listing agreement, with a licensed Real Estate Agent.
2
THE SALE
Property owner (Seller) enters into a purchase contract, typically referred to as an Earnest Money Agreement, with a Buyer.
3
ESCROW
As part of the purchase contract, Seller agrees to purchase a title insurance policy for the Buyer and both agree to close the transaction with a licensed escrow company. In Oregon, most title insurance companies also offer escrow services to facilitate a convenient “one-stop” approach to closing real estate transactions.
An escrow is a neutral third party depository for legal documents and funds necessary to complete a real estate transaction. The escrow agent will disburse funds and record documents for the proper recipients according to their written instructions.
What title insurance and escrow costs are incurred in a real estate sale?
The fee for escrow services is based on the sales price of the property. This fee is typically split equally between the Seller and Buyer. However, Buyers should check with their lenders if financing is involved because some federally insured lending programs do not allow borrowers to pay this fee. The Seller typically pays for a standard owner’s policy of title insurance which names the Buyer as the insured. Charges for this policy are based on the sales price of the property. The Buyer typically pays for a lender’s policy of title insurance and any required endorsements if s/he is obtaining a new loan to purchase the property. Charges for this policy are based on the loan amount.
What services does an escrow agent perform on behalf of the Seller and Buyer?
• Upon opening of escrow, escrow agent will order a preliminary title report, which will be sent to all interested parties involved in the transaction. The report will detail the current ownership, liens and encumbrances of the property.
• Closing statements will be prepared for each party, showing all credits and debits. The escrow agent will schedule appointments for all parties to sign their final necessary documents, including any funds needed to be deposited, to complete the transaction.
• Signed loan documents are returned to the Lender, for final review and funding approval.
• Recordable documents are released to the County Clerk’s office for recording.
• Once recorded, all funds are disbursed per written instructions.
• Final title policies are issued to the insured parties.