Skip to main content

Digital Homebook - 17766 S Nicks Pl - Linda

Page 1


/ Parcel Number:

Property Characteristics

ParcelID:05006032

SentryDynamics,Inc anditscustomersmakenorepresentations,warranties orconditions,expressorimplied,astotheaccuracyorcompletenessof informationcontainedinthisreport

ParcelID:05006032

SiteAddress:17766SNicksPl

SentryDynamics,Inc anditscustomersmakenorepresentations,warranties orconditions,expressorimplied,astotheaccuracyorcompletenessof informationcontainedinthisreport

ParcelID:05006032

SiteAddress:17766SNicksPl

SentryDynamics,Inc anditscustomersmakenorepresentations,warranties orconditions,expressorimplied,astotheaccuracyorcompletenessof informationcontainedinthisreport

Property Account Summary

AccountNumber 05006032 PropertyAddress 17766 S NICKS PL , OREGON CITY, OR 97045

GeneralInformation

AlternateProperty# 32E13D02200

PropertyDescription SubdivisionBEAVERLAKEESTATES#3LT633734

LastSalePrice $1,490,00000

LastSaleDate 12/05/2024

LastSaleExciseNumber 449614

PropertyCategory

Remarks

PropertyCharacteristics

Beaver Lake all other

Tract Land Improved

Parents

Parcel

Children

ParcelNo.

No Children Found

ActiveExemptions No Exemptions Found

Events

11/08/2024 12/05/2024 13:45:00 Taxpayer Changed Property Transfer Filing No.: 449614 11/08/2024 by JPETRICH

11/08/2024 12/05/2024 13:45:00 Recording Processed Property Transfer Filing No.: 449614, Warranty Deed, Recording No.: 2024-041504 11/08/2024 by JPETRICH

12/13/2004 12/21/2004 11:18:00 Recording Processed Property Transfer Filing No.: 109607, Warranty Deed, Recording No.: 2004-113554 12/13/2004 by AMANDAOLS

12/13/2004 12/21/2004 11:18:00 Taxpayer Changed Property Transfer Filing No.: 109607 12/13/2004 by AMANDAOLS

05/04/2004 05/04/2004 14:56:00 The situs address has changed by LINDAPET

02/28/2003 03/06/2003 10:48:00 Recording Processed Property Transfer Filing No.: 70299, Warranty Deed, Recording No.: 2003-025326 02/28/2003 by LAURIEB

02/28/2003 03/06/2003 10:48:00 Taxpayer Changed Property Transfer Filing No.: 70299 02/28/2003 by LAURIEB

12/11/2002 12/11/2002 11:45:00 Created by Seg/Merge

2024 Receipts

(ReceiptDetail.aspx? receiptnumber=5715948)

00:00:00

(ReceiptDetail.aspx? receiptnumber=5473407)

(ReceiptDetail.aspx? receiptnumber=5098750)

SalesHistory

10/22/2024 12/05/2024 11/08/2024 2024041504 $1,490,000.00 449614

KOURGIANTAKIS JOHN & GELAREH ABDISSA GEMECHIS No 12/02/2004 12/21/2004 12/13/2004 2004113554 $1,040,000.00 109607 S MAKSIMOV PIOTR & VERA MAKSIMOVA KOURGIANTAKIS JOHN & GELAREH No 09/17/2002 03/06/2003 02/28/2003 2003025326 $155,000.00 70299

BEAVER LAKE PARTNERS LLC MAKSIMOV PIOTR & VERA MAKSIMOVA No PropertyDetails

Detailed Statement

Assigned School

Schools

Primary School: Redland Elementary School

Middle School: Tumwata Middle School

High School: Oregon City Senior High School

Primary School Redland Elementary School 2

Middle School

Tumwata Middle School 3

High School

Oregon City Senior High School 1

1. Oregon City Senior High School

Address: 19761 S Beavercreek Rd District: Oregon City Sd 62

Charter: No

Title 1 Elig: 2-No

2. Redland Elementary School

Distance: 2.67 mile(s)

Type: 1-Regular school

Students: 1,931

Title 1: 6-Not a Title I school Grade Levels: 9th Grade - 12th Grade

Male / Female: 970 / 929 Distance: 3.11 mile(s)

Address: 18131 S Redland Rd District: Oregon City Sd 62

Charter: No Magnet:

Title 1 Elig: 2-No

3 Tumwata Middle School

Type: 1-Regular school

Students: 496

Title 1: 6-Not a Title I school Grade Levels: Kindergarten - 5th Grade

Male / Female: 252 / 244 Distance: 4 86 mile(s)

Address: 14133 S Donovan Rd District: Oregon City Sd 62 Type: 1-Regular school

Charter: No

Title 1 Elig: 2-No

Male / Female: 328 / 322

654

Title 1: 6-Not a Title I school Grade Levels: 6th Grade - 8th Grade

STEPS IN A REAL ESTATE TRANSACTION

1

What is an Escrow?

THE LISTING AGREEMENT

The property owner (Seller) initiates a contract, or a listing agreement, with a licensed Real Estate Agent.

2

THE SALE

Property owner (Seller) enters into a purchase contract, typically referred to as an Earnest Money Agreement, with a Buyer.

3

ESCROW

As part of the purchase contract, Seller agrees to purchase a title insurance policy for the Buyer and both agree to close the transaction with a licensed escrow company. In Oregon, most title insurance companies also offer escrow services to facilitate a convenient “one-stop” approach to closing real estate transactions.

An escrow is a neutral third party depository for legal documents and funds necessary to complete a real estate transaction. The escrow agent will disburse funds and record documents for the proper recipients according to their written instructions.

What title insurance and escrow costs are incurred in a real estate sale?

The fee for escrow services is based on the sales price of the property. This fee is typically split equally between the Seller and Buyer. However, Buyers should check with their lenders if financing is involved because some federally insured lending programs do not allow borrowers to pay this fee. The Seller typically pays for a standard owner’s policy of title insurance which names the Buyer as the insured. Charges for this policy are based on the sales price of the property. The Buyer typically pays for a lender’s policy of title insurance and any required endorsements if s/he is obtaining a new loan to purchase the property. Charges for this policy are based on the loan amount.

What services does an escrow agent perform on behalf of the Seller and Buyer?

• Upon opening of escrow, escrow agent will order a preliminary title report, which will be sent to all interested parties involved in the transaction. The report will detail the current ownership, liens and encumbrances of the property.

• Closing statements will be prepared for each party, showing all credits and debits. The escrow agent will schedule appointments for all parties to sign their final necessary documents, including any funds needed to be deposited, to complete the transaction.

• Signed loan documents are returned to the Lender, for final review and funding approval.

• Recordable documents are released to the County Clerk’s office for recording.

• Once recorded, all funds are disbursed per written instructions.

• Final title policies are issued to the insured parties.

FROM PENDING TO SOLD

ESCROW FLOW CHART

Receive and review Earnest Money Agreement and Broker’s instructions.

Open escrow. Order title report.

Determine financing.

Information gathering from Buyer and Seller.

Receive title report. Send copies to all parties in the transaction.

Resolve any title issues. Order any payoff demands.

Review file. Are conditions satisfied? Contingencies removed?

Prepare closing statement, closing instructions and transfer deed

Obtain signatures on all escrow and loan documents. Collect any funds due from Buyer and/or Seller

Record applicable documents with the County Recorder's office.

Close file. Prepare final statements. Disburse funds.

Forward final documents to all interested parties - Buyer, Seller, Real Estate Agents, Lender, Broker, Attorney, etc.

NEW LOAN

Notify Escrow with name of new lender and loan officer.

Send title report to lender.

Notification of final loan approval. Are repairs complete?

Deliver Seller & Buyer Closing Disclosures. Buyers’ consummation 3-6 days.

Loan documents delivered to escrow.

Return loan documents for final approval to fund and record.

Order loan funds.

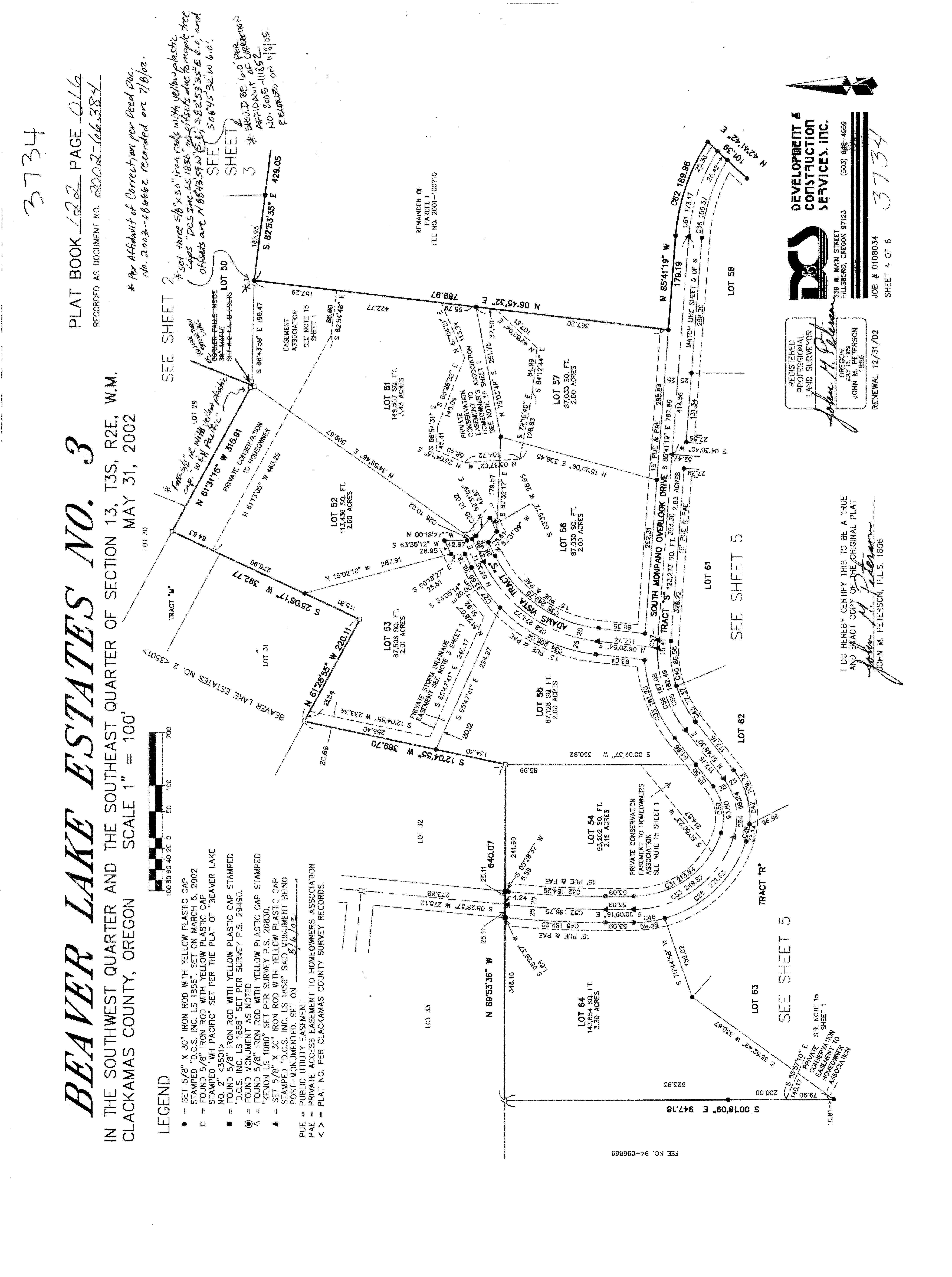
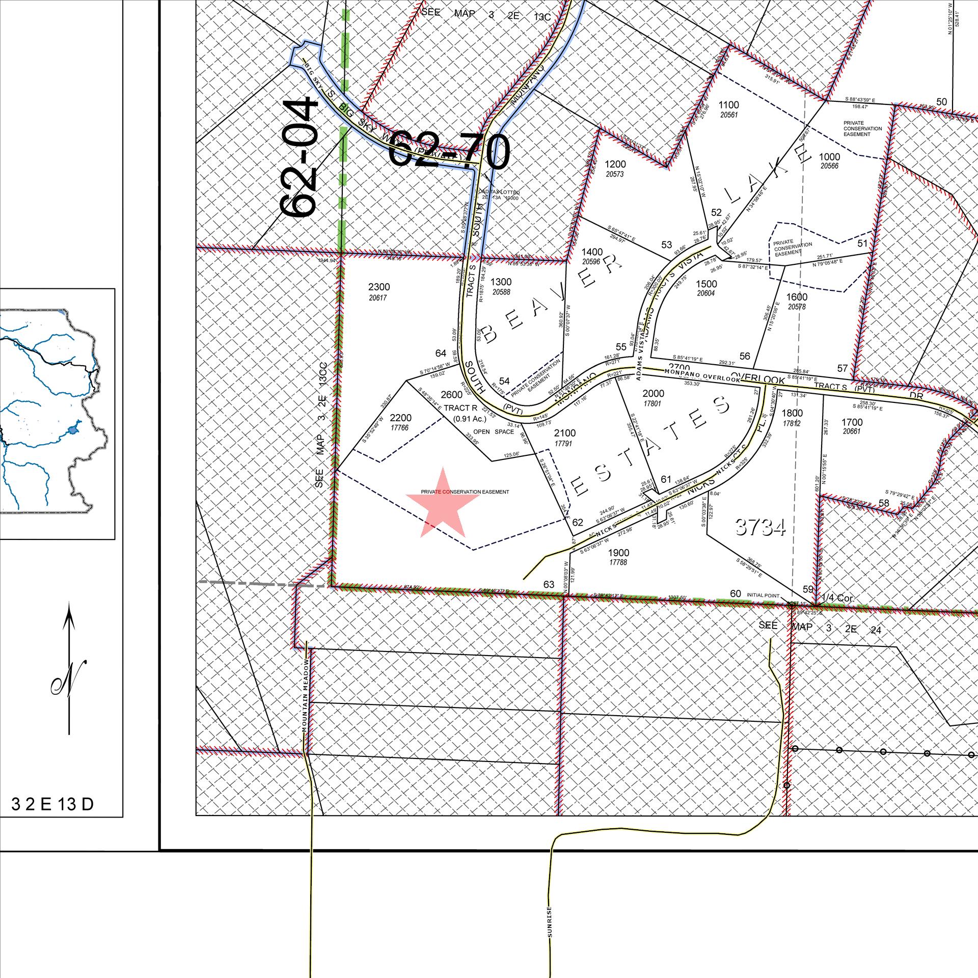
This map/plat is being furnished as an aid in locating the herein described Land in relation to adjoining streets, natural boundaries and other land, and is not a survey of the land depicted. Except to the extent a policy of title insurance is expressly modified by endorsement, if any, the Company does not insure dimensions, distances, location of easements, acreage or other matters shown thereon.

This map/plat is being furnished as an aid in locating the herein described Land in relation to adjoining streets, natural boundaries and other land, and is not a survey of the land depicted. Except to the extent a policy of title insurance is expressly modified by endorsement, if any, the Company does not insure dimensions, distances, location of easements, acreage or other matters shown thereon.

This map/plat is being furnished as an aid in locating the herein described Land in relation to adjoining streets, natural boundaries and other land, and is not a survey of the land depicted. Except to the extent a policy of title insurance is expressly modified by endorsement, if any, the Company does not insure dimensions, distances, location of easements, acreage or other matters shown thereon.

This map/plat is being furnished as an aid in locating the herein described Land in relation to adjoining streets, natural boundaries and other land, and is not a survey of the land depicted. Except to the extent a policy of title insurance is expressly modified by endorsement, if any, the Company does not insure dimensions, distances, location of easements, acreage or other matters shown thereon.

This map/plat is being furnished as an aid in locating the herein described Land in relation to adjoining streets, natural boundaries and other land, and is not a survey of the land depicted. Except to the extent a policy of title insurance is expressly modified by endorsement, if any, the Company does not insure dimensions, distances, location of easements, acreage or other matters shown thereon.

This map/plat is being furnished as an aid in locating the herein described Land in relation to adjoining streets, natural boundaries and other land, and is not a survey of the land depicted. Except to the extent a policy of title insurance is expressly modified by endorsement, if any, the Company does not insure dimensions, distances, location of easements, acreage or other matters shown thereon.

Turn static files into dynamic content formats.

Create a flipbook
Digital Homebook - 17766 S Nicks Pl - Linda by Lawyers Title Oregon - Issuu