Skip to main content

Digital Homebook - 1466 N Steiwer Lane

Page 1


Subject Property 1466 N Steiwer Ln, Newberg OR 97132

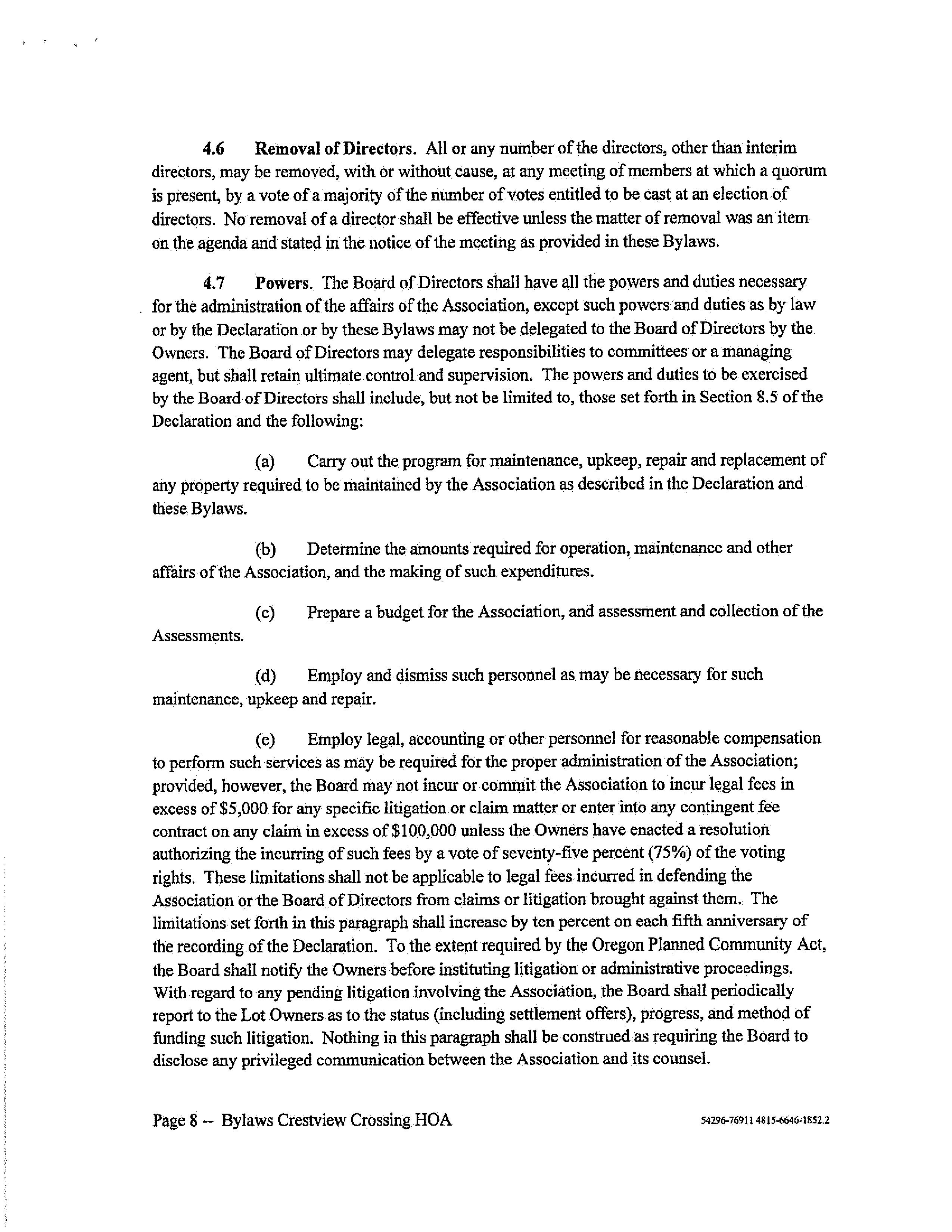
County Name: Yamhill

APN / Parcel Number: 714488

Current Ownership: Karen K Nemeyer Living Trust

Site Address: 1466 N Steiwer Ln, Newberg OR 97132

Mail Address: 1466 N Steiwer Ln, Newberg OR 97132 *Owner Occupied

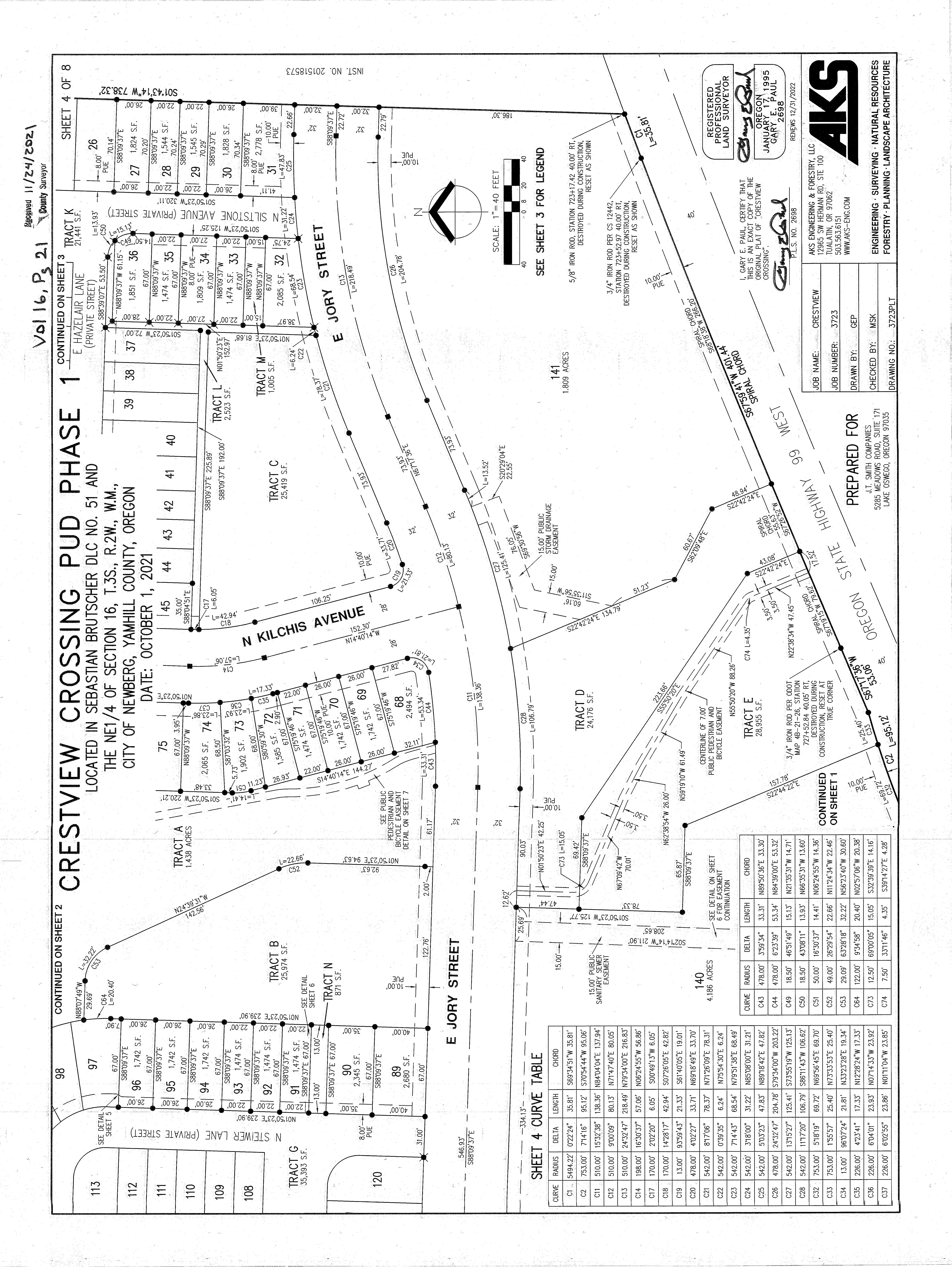
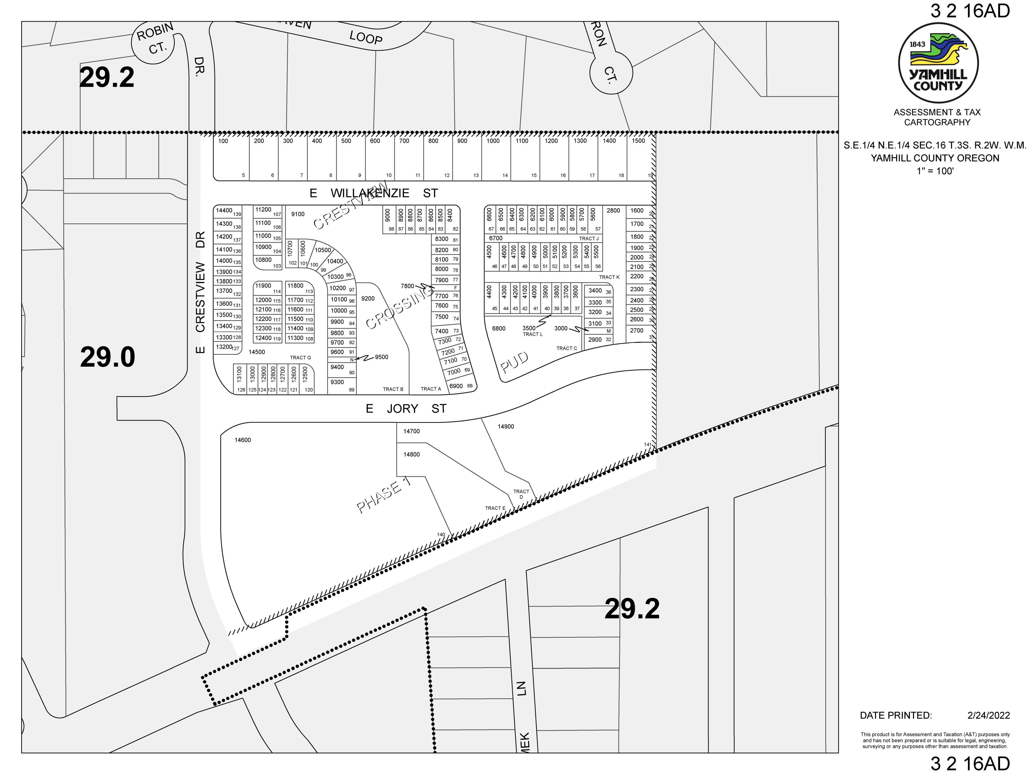
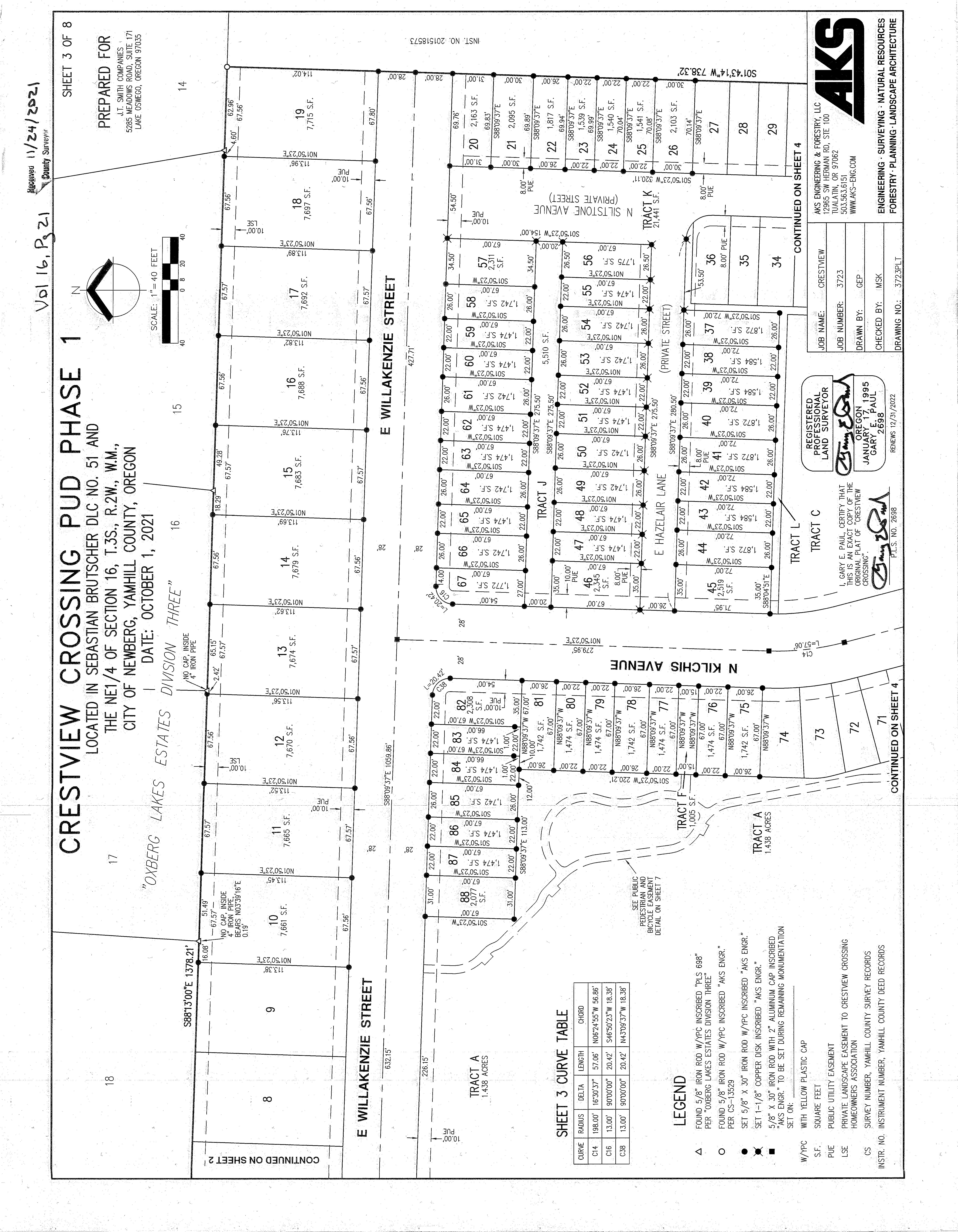
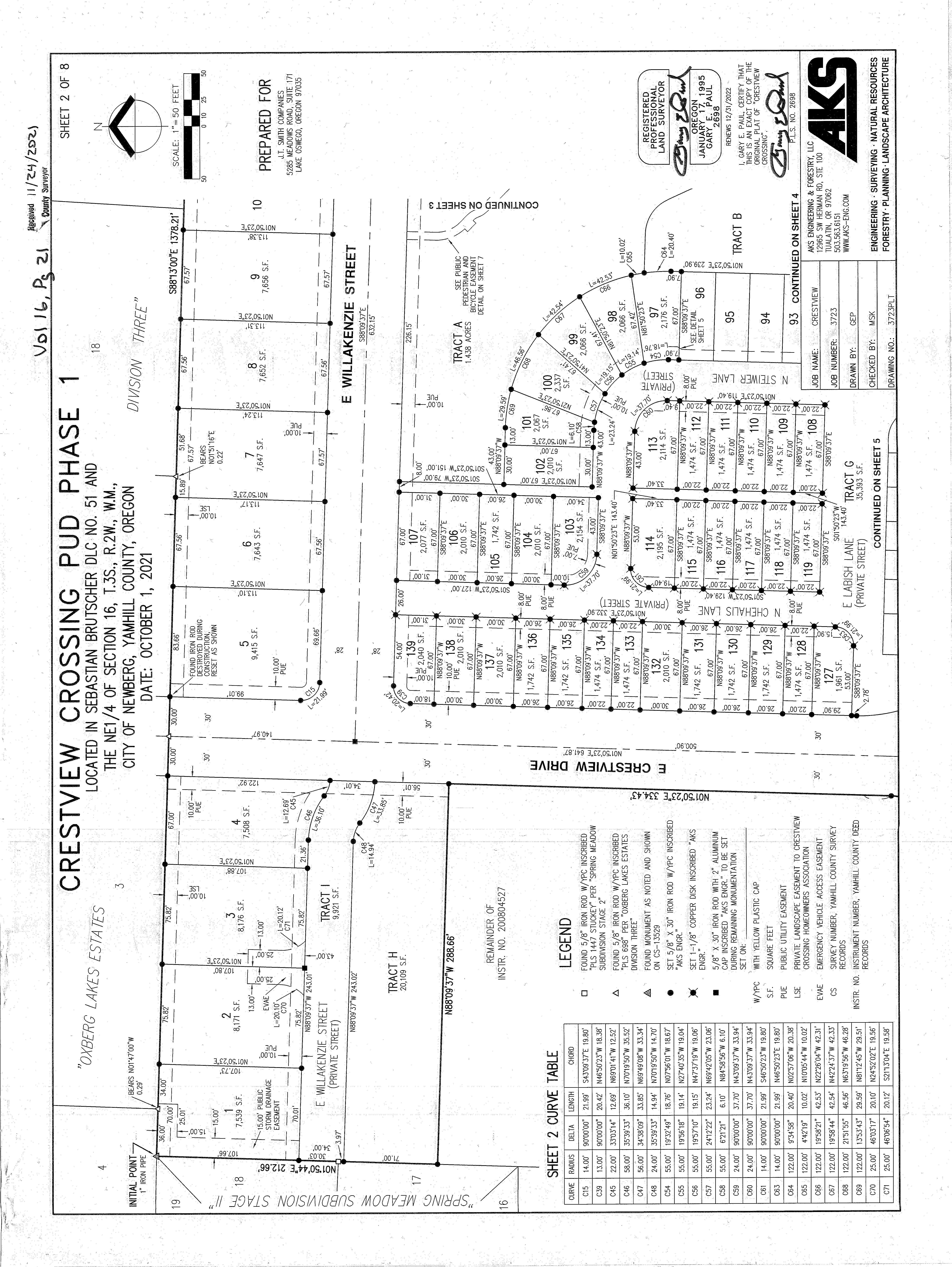
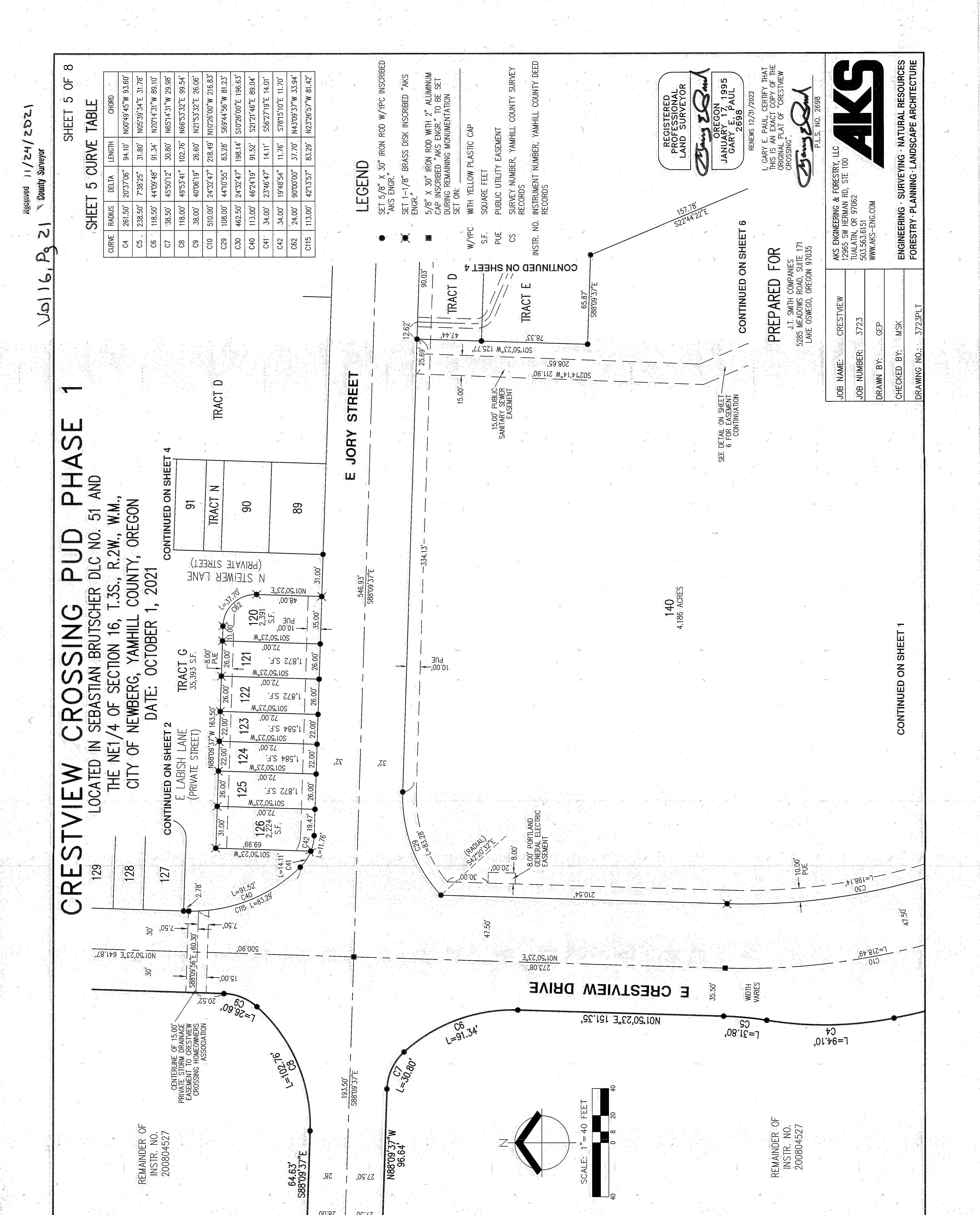
Tract / Subdivision: / Crestview Crossing Pud Phase 1

Census Tract / Block: 030101 / 3009

Lot / Block: 99

Twn / Rng / Sec / Qtr: 03S / 02W / 16 / NE

Brief Legal Description: LOT 99 CRESTVIEW CROSSING PUD PHASE 1

Sale Information

Sale Recording Date: 08/14/2023

Property Characteristics

Property Details

714488

Sentry Dynamics, Inc and its customers make no representations, warranties or conditions, express or implied, as to the accuracy or completeness of information contained in this report

Parcel ID: 714488

Parcel ID: 714488

SiteAddress: 1466 N Steiwer Ln

Sentry Dynamics, Inc and its customers make no representations, warranties or conditions, express or implied, as to the accuracy or completeness of information contained in this report

Parcel ID: 714488

SiteAddress: 1466 N Steiwer Ln

Sentry Dynamics, Inc and its customers make no representations, warranties or conditions, express or implied, as to the accuracy or completeness of information contained in this report

Property Information Report

1466 N STEIWER LN NEWBERG, OR 97132-3844

Ownership Information

Owner Name:

KAREN K NEMEYER

KAREN K CLINCH

Mailing Address: 1466 N STEIWER LN NEWBERG, OR 97132-3844

Property Description

County: Yamhill

Map / Tax Lot: R3216AD/10400

Account Num: 714488

Property ID: 714488

Land Use: Parcels with improvements, Use Not Specified Zoning: R2

Subdivision: CRESTVIEW CROSSING PUD PHASE 1

Legal Description: LOT 99 CRESTVIEW CROSSING PUD PHASE 1

Transaction History

/

This information has been furnished, without charge, in conformance with the guidelines approved by the State of Oregon Insurance Commissioner. The Insurance division cautions intermediaries that this service is designed to benefit the ultimate insureds. Indiscriminate use only benefiting intermediaries will not be permitted. Said Services may be discontinued. No liability is assumed for any errors in this report.

AllinformationprovidedbyValueCheck,Incisdeemedreliable,butnotguaranteed. Accuracyoftheinformationmayvarybycounty.

Copyright © 2025 ValueCheck, Inc.

Property Account Summary

Click image above for more information

Property Values

Real Market Buildings MKITL

Real Market Total MKTTL

M5 Limit SAV M5SAV

M5 Market Buildings MKIMP

$279,091

SA Land (MAVUse Portion) SAVL

Active Exemptions

No Exemptions Found

Tax Balance

No Charges are currently due. If you believe this is incorrect, please contact the Assessor's Office.

Property Details

Breakdown

Age Distribution

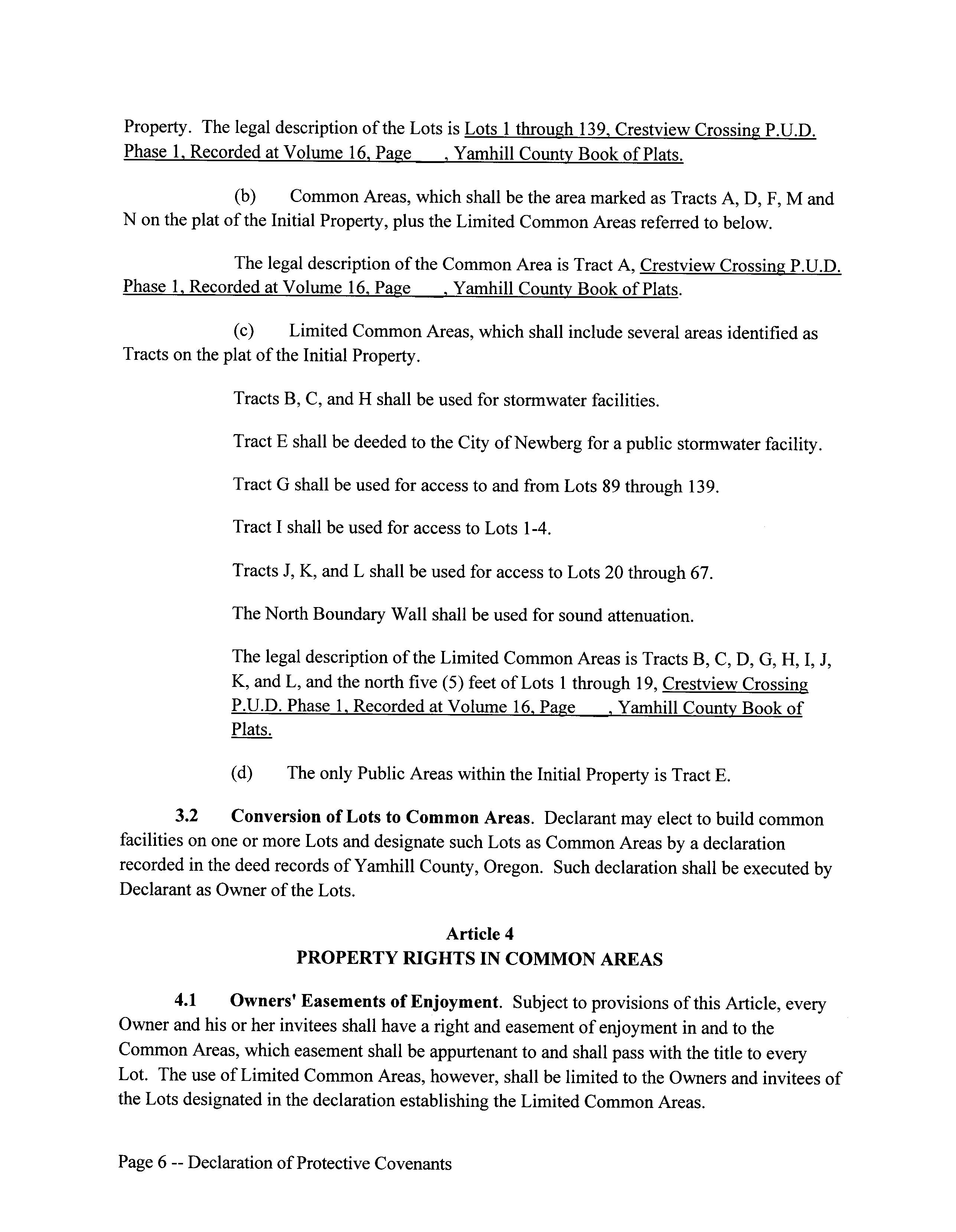
SubjectPropertyLocation

PropertyAddress 1466NSTEIWERLN

City,State&Zip NEWBERG,OR97132-3844

County YAMHILLCOUNTY

MailingAddress 1466NSTEIWERLN,NEWBERG,OR97132-3844

SubjectProperty

Owner NEMEYER,KARENK;CLINCH,KARENK

ofCars

ReportDate:03/28/2025

OrderID:R178381078

NearbyNeighbor#9

Address 1436NSTEIWERLN,NEWBERG,OR97132

Owner CHILDERS,DARTAGNAN

Bedrooms 0 YearBuilt

Bathrooms/Partial Garage/No ofCars

NearbyNeighbor#10

Address 4228EWILLAKENZIEST,NEWBERG,OR97132

Owner CRESTVIEWCROSSINGHOMEOWNERASSOCIATION

Bedrooms 0 YearBuilt

ofCars

NearbyNeighbor#11

Address 1437NSTEIWERLN,NEWBERG,OR97132

Owner YEUNG,CHRISTOPHERHONGPUI;YEUNG,SHAINAINN

Bedrooms 0 YearBuilt

ofCars

NearbyNeighbor#12

Address 1424NSTEIWERLN,NEWBERG,OR97132

Owner MILLER,RAYMOND;CHAENGSAPPAKIJ,RUNGTHIP

NearbyNeighbor#13

Address 1472NCHEHALISLN,NEWBERG,OR97132

SHAWNJASON;ROEBUCKJENNIFER

Disclaimer

THISREPORT,INWHOLEORIN PART THEUSEOFTHISREPORTBYANYPARTYOTHERTHANYOURSELFFORANYPURPOSEISSTRICTLYPROHIBITED.THISREPORTISPROVIDEDAS-ISWITHOUTWARRANTYOFANYKIND,EITHEREXPRESS ORIMPLIED,INCLUDINGWITHOUTLIMITATION,ANYWARRANTIESOFMERCHANTABILITY,NON-INFRINGEMENT,ORFITNESS

INC.(ICE)SHALL HAVENOLIABILITYINCONTRACT TORT,OROTHERWISEARISINGOUTOFORINCONNECTIONWITHTHISREPORT.ICEDOESNOTREPRESENTORWARRANTTHATTHEREPORTISCOMPLETEORFREEFROM ERROR.YOUUNDERSTANDANDACKNOWLEDGETHATTHEAVAILABILITY,COMPLETENESSANDFORMATOFTHEDATAELEMENTSMAYVARYSUBSTANTIALLYFROMAREA-TO-AREA.THEINFORMATION CONTAINEDINTHISREPORTISDERIVEDFROMPUBLICLYAVAILABLESOURCESFORTHESUBJECTPROPERTYORCOMPARABLEPROPERTIESLISTEDABOVEANDHASNOTBEENINDEPENDENTLYVERIFIEDBY ICETHROUGHANYFORMOFINSPECTIONORREVIEW THISREPORTDOESNOTCONSTITUTEANAPPRAISALOFANYKINDANDSHOULDNOTBEUSEDINLIEUOFANINSPECTIONOFASUBJECTPROPERTYBYA LICENSEDORCERTIFIEDAPPRAISER.THISREPORTCONTAINSNOREPRESENTATIONS,OPINIONSORWARRANTIESREGARDINGTHESUBJECTPROPERTY'SACTUALMARKETABILITY,CONDITION(STRUCTURAL OROTHERWISE),ENVIRONMENTAL,HAZARDORFLOODZONESTATUS,ANDANYREFERENCETOENVIRONMENTAL,HAZARDORFLOODZONESTATUSISFORINFORMATIONALPURPOSESONLYANDSHALLBE INDEPENDENTLYVERIFIEDBYTHEENDUSER.THEINFORMATIONCONTAINEDHEREINSHALLNOTBEUTILIZED:(A)TOREVIEWORESTABLISHACONSUMER'SCREDITAND/ORINSURANCEELIGIBILITYORFOR ANYOTHERPURPOSETHATWOULDCAUSETHEREPORTTOCONSTITUTEA"CONSUMERREPORT"UNDERTHEFAIRCREDITREPORTINGACT,15U.S.C.§1681ETSEQ.;OR(B)INCONNECTIONWITH CERTIFICATIONORAUTHENTICATIONOFREALESTATEOWNERSHIPAND/ORREALESTATETRANSACTIONS.ADDITIONALTERMSANDCONDITIONSSHALLAPPLYPURSUANTTOTHEAPPLICABLEAGREEMENT Copyright CONFIDENTIAL,PROPRIETARYAND/ORTRADESECRET TMSM®TRADEMARK(S)OFINTERCONTINENTALEXCHANGE,INC.ANDITSSUBSIDIARIESANDAFFILIATES. ©2025INTERCONTINENTALEXCHANGE,INC.ALLRIGHTSRESERVED.

Area Schools

Assigned School

Primary School: Mabel Rush Elementary School

Middle School: Mountain View Middle School

High School: Newberg Senior High School

Primary School

Mabel Rush Elementary School 1

Middle School

Mountain View Middle School 2

High School

Newberg Senior High School 3

Other School

1. Mabel Rush Elementary School

Address: 1441 Deborah Rd District: Newberg Sd 29J

Charter: No Magnet:

Title 1 Elig: 2-No

2. Mountain View Middle School

Title 1: 6-Not a Title I school

Distance: 0.80 mile(s)

Type: 1-Regular school

Students: 389

Grade Levels: Kindergarten - 5th Grade

Male / Female: 207 / 182 Distance: 0.85 mile(s)

Address: 2015 Emery Dr District: Newberg Sd 29J

Charter: No Magnet:

Title 1 Elig: 2-No

3. Newberg Senior High School

Title 1: 6-Not a Title I school

Type: 1-Regular school

Students: 498

Grade Levels: 6th Grade - 8th Grade

Male / Female: 267 / 228 Distance: 0.97 mile(s)

Address: 2400 Douglas Rd District: Newberg Sd 29J

Charter: No

Title 1 Elig: 2-No

Male / Female: 744 / 637

Title 1: 6-Not a Title I school

Type: 1-Regular school

Students: 1,389

Grade Levels: 9th Grade - 12th Grade

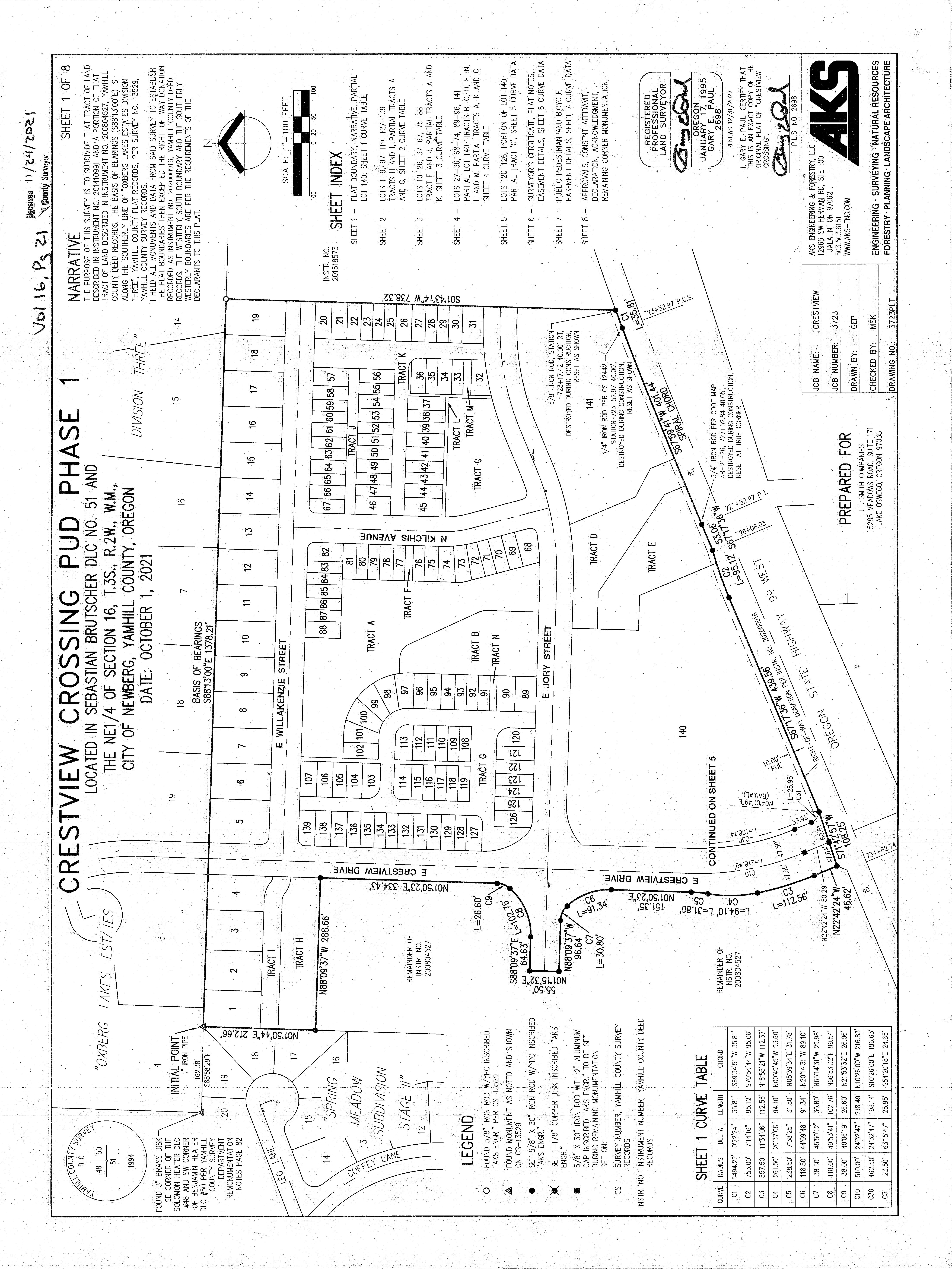
This map/plat is being furnished as an aid in locating the herein described Land in relation to adjoining streets, natural boundaries and other land, and is not a survey of the land depicted. Except to the extent a policy of title insurance is expressly modified by endorsement, if any, the Company does not insure dimensions, distances, location of easements, acreage or other matters shown thereon.

This map/plat is being furnished as an aid in locating the herein described Land in relation to adjoining streets, natural boundaries and other land, and is not a survey of the land depicted. Except to the extent a policy of title insurance is expressly modified by endorsement, if any, the Company does not insure dimensions, distances, location of easements, acreage or other matters shown thereon.

This map/plat is being furnished as an aid in locating the herein described Land in relation to adjoining streets, natural boundaries and other land, and is not a survey of the land depicted. Except to the extent a policy of title insurance is expressly modified by endorsement, if any, the Company does not insure dimensions, distances, location of easements, acreage or other matters shown thereon.

This map/plat is being furnished as an aid in locating the herein described Land in relation to adjoining streets, natural boundaries and other land, and is not a survey of the land depicted. Except to the extent a policy of title insurance is expressly modified by endorsement, if any, the Company does not insure dimensions, distances, location of easements, acreage or other matters shown thereon.

This map/plat is being furnished as an aid in locating the herein described Land in relation to adjoining streets, natural boundaries and other land, and is not a survey of the land depicted. Except to the extent a policy of title insurance is expressly modified by endorsement, if any, the Company does not insure dimensions, distances, location of easements, acreage or other matters shown thereon.

This map/plat is being furnished as an aid in locating the herein described Land in relation to adjoining streets, natural boundaries and other land, and is not a survey of the land depicted. Except to the extent a policy of title insurance is expressly modified by endorsement, if any, the Company does not insure dimensions, distances, location of easements, acreage or other matters shown thereon.

This map/plat is being furnished as an aid in locating the herein described Land in relation to adjoining streets, natural boundaries and other land, and is not a survey of the land depicted. Except to the extent a policy of title insurance is expressly modified by endorsement, if any, the Company does not insure dimensions, distances, location of easements, acreage or other matters shown thereon.

This map/plat is being furnished as an aid in locating the herein described Land in relation to adjoining streets, natural boundaries and other land, and is not a survey of the land depicted. Except to the extent a policy of title insurance is expressly modified by endorsement, if any, the Company does not insure dimensions, distances, location of easements, acreage or other matters shown thereon.

STEPS IN A REAL ESTATE TRANSACTION

1

What is an Escrow?

THE LISTING AGREEMENT

The property owner (Seller) initiates a contract, or a listing agreement, with a licensed Real Estate Agent.

2

THE SALE

Property owner (Seller) enters into a purchase contract, typically referred to as an Earnest Money Agreement, with a Buyer.

3

ESCROW

As part of the purchase contract, Seller agrees to purchase a title insurance policy for the Buyer and both agree to close the transaction with a licensed escrow company. In Oregon, most title insurance companies also offer escrow services to facilitate a convenient “one-stop” approach to closing real estate transactions.

An escrow is a neutral third party depository for legal documents and funds necessary to complete a real estate transaction. The escrow agent will disburse funds and record documents for the proper recipients according to their written instructions.

What title insurance and escrow costs are incurred in a real estate sale?

The fee for escrow services is based on the sales price of the property. This fee is typically split equally between the Seller and Buyer. However, Buyers should check with their lenders if financing is involved because some federally insured lending programs do not allow borrowers to pay this fee. The Seller typically pays for a standard owner’s policy of title insurance which names the Buyer as the insured. Charges for this policy are based on the sales price of the property. The Buyer typically pays for a lender’s policy of title insurance and any required endorsements if s/he is obtaining a new loan to purchase the property. Charges for this policy are based on the loan amount.

What services does an escrow agent perform on behalf of the Seller and Buyer?

• Upon opening of escrow, escrow agent will order a preliminary title report, which will be sent to all interested parties involved in the transaction. The report will detail the current ownership, liens and encumbrances of the property.

• Closing statements will be prepared for each party, showing all credits and debits. The escrow agent will schedule appointments for all parties to sign their final necessary documents, including any funds needed to be deposited, to complete the transaction.

• Signed loan documents are returned to the Lender, for final review and funding approval.

• Recordable documents are released to the County Clerk’s office for recording.

• Once recorded, all funds are disbursed per written instructions.

• Final title policies are issued to the insured parties.

FROM PENDING TO SOLD

ESCROW FLOW CHART

Receive and review Earnest Money Agreement and Broker’s instructions.

Open escrow. Order title report.

Determine financing.

Information gathering from Buyer and Seller.

Receive title report. Send copies to all parties in the transaction.

Resolve any title issues. Order any payoff demands.

Review file. Are conditions satisfied? Contingencies removed?

Prepare closing statement, closing instructions and transfer deed

Obtain signatures on all escrow and loan documents. Collect any funds due from Buyer and/or Seller

Record applicable documents with the County Recorder's office.

Close file. Prepare final statements. Disburse funds.

Forward final documents to all interested parties - Buyer, Seller, Real Estate Agents, Lender, Broker, Attorney, etc.

NEW LOAN

Notify Escrow with name of new lender and loan officer.

Send title report to lender.

Notification of final loan approval. Are repairs complete?

Deliver Seller & Buyer Closing Disclosures. Buyers’ consummation 3-6 days.

Loan documents delivered to escrow.

Return loan documents for final approval to fund and record.

Order loan funds.

Turn static files into dynamic content formats.

Create a flipbook