Skip to main content

Digital Homebook - 1234 SW 18th Avenue #305

Page 1


Subject Property

County Name: Multnomah

APN / Parcel Number: R608346

Current Ownership: Kevin Bates

Site Address: 1234 SW 18th Ave, Unit #305, Portland OR 97205

Mail Address: 1234 SW 18th Ave #305, Portland OR 97205

*Owner Occupied

Tract / Subdivision: / Jefferson Condominiums

Census Tract / Block: 005201 / 3018

Lot / Block: 305

Twn / Rng / Sec / Qtr: 01S / 01E / 04 / NE

Brief Legal Description: JEFFERSON CONDOMINIUMS, LOT 305

Sale Information

Sale Recording Date: 11/04/2019

Property Characteristics

Baths: 1

Property Details

APN: R608346

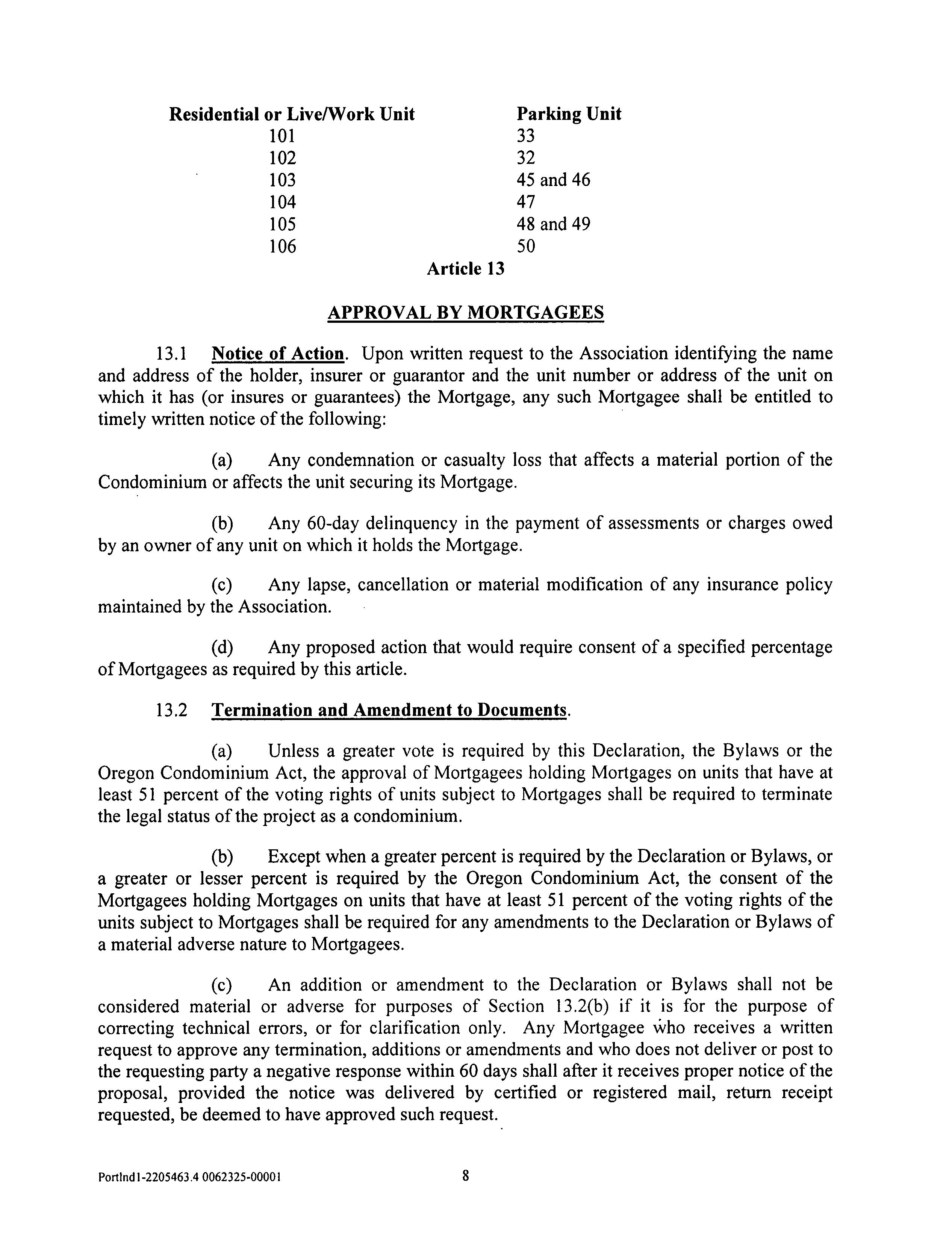
This map/plat is being furnished as an aid in locating the herein described land in relation to adjoining streets, natural boundaries and other land, and is not a survey of the land depicted Except to the extent a policy of title insurance is expressly modied by endorsement, if any, the company does not insure dimensions, distances, location of easements, acreage or other matters shown thereon

This map/plat is being furnished as an aid in locating the herein described land in relation to adjoining streets, natural boundaries and other land, and is not a survey of the land depicted Except to the extent a policy of title insurance is expressly modied by endorsement, if any, the company does not insure dimensions, distances, location of easements, acreage or other matters shown thereon

Property Owner Property Address

AssessedValue R608346 BATES,KEVINM 1234SW18THAVE,UNIT#305,PORTLAND,OR97205 $223,140

GENERALINFORMATION

Property Status AActive

Property Type RPResidential

Legal Description JEFFERSONCONDOMINIUMS,LOT305

Alternate Account Number R427300660

Neighborhood RW516 Goose Hollow Map Number 1S1E04AB-60022

Property Use W-RESIDENTIALCONDO

LevyCodeArea 001

OWNERINFORMATION

Owner Name BATES,KEVINM

Mailing Address 1234SW18THAVE#305PORTLAND,OR 97205

RELATEDPROPERTIES

Split/Merge data prior to February 6, 2018 is not available online, please call Multnomah County Assessment & Taxation division.

Linked Properties R608428

Property Group ID -

Grouped Properties -

Split / Merge Date -

Split / Merge Accounts -

Split / Merge Message -

IMPROVEMENTS ? Expand/Collapse All

ASSESSEDVALUES

Breakdown

Age Distribution

SubjectPropertyLocation

PropertyAddress 1234SW18THAVEAPT305

City,State&Zip PORTLAND,OR97205-1754

County MULTNOMAHCOUNTY

MailingAddress 1234SW18THAVEAPT305,PORTLAND,OR97205-1754

Owner BATES,KEVINM

1

NearbyNeighbor#1

ofCars

Address 1234SW18THAVEAPT402,PORTLAND,OR97205

Owner CHARLESFMANFRE&JILLMMANFREFAMILYTR

ofCars

Owner SANTANA,EMMANUEL

Owner THEISEN,GREGORY

NearbyNeighbor#7

CHAGNON,CODYA

NearbyNeighbor#8

Address

Bedrooms

ReportDate:04/10/2025

OrderID:R179675489

NearbyNeighbor#9

Address 1234SW18THAVEAPT510,PORTLAND,OR97205

Owner HELMKAMP,KATRINAL&ZYDIAK,JAMESL

NearbyNeighbor#10

Address

Owner COLLINS,KARLJ

1 Garage/No ofCars

NearbyNeighbor#11

Address 1234SW18THAVEAPT307,PORTLAND,OR97205

Owner WISMER,BRENTR

NearbyNeighbor#12

Owner JOHNSON,JOANN&TANAMACHI,LINDA

Owner MASONEK,JEFFREY

ASANENDUSERSOLELYFORYOURINTERNALBUSINESSPURPOSES.YOU

INWHOLEORIN PART THEUSEOFTHISREPORTBYANYPARTYOTHERTHANYOURSELFFORANYPURPOSEISSTRICTLYPROHIBITED.THISREPORTISPROVIDED

WARRANTYOFANYKIND,EITHEREXPRESS ORIMPLIED,INCLUDINGWITHOUTLIMITATION,ANYWARRANTIESOFMERCHANTABILITY,NON-INFRINGEMENT,ORFITNESSFORAPARTICULARPURPOSE.INTERCONTINENTALEXCHANGE,INC.(ICE)SHALL HAVENOLIABILITYINCONTRACT TORT,OROTHERWISEARISINGOUTOFORINCONNECTIONWITHTHISREPORT.ICEDOESNOTREPRESENTORWARRANTTHATTHEREPORTISCOMPLETEORFREEFROM ERROR.YOUUNDERSTANDANDACKNOWLEDGETHATTHEAVAILABILITY,COMPLETENESSANDFORMATOFTHEDATAELEMENTSMAYVARYSUBSTANTIALLYFROMAREA-TO-AREA.THEINFORMATION CONTAINEDINTHISREPORTISDERIVEDFROMPUBLICLYAVAILABLESOURCESFORTHESUBJECTPROPERTYORCOMPARABLEPROPERTIESLISTEDABOVEANDHASNOTBEENINDEPENDENTLYVERIFIEDBY ICETHROUGHANYFORMOFINSPECTIONORREVIEW THISREPORTDOESNOTCONSTITUTEANAPPRAISALOFANYKINDANDSHOULDNOTBEUSEDINLIEUOFANINSPECTIONOFASUBJECTPROPERTYBYA LICENSEDORCERTIFIEDAPPRAISER.THISREPORTCONTAINSNOREPRESENTATIONS,OPINIONSORWARRANTIESREGARDINGTHESUBJECTPROPERTY'SACTUALMARKETABILITY,CONDITION(STRUCTURAL OROTHERWISE),ENVIRONMENTAL,HAZARDORFLOODZONESTATUS,ANDANYREFERENCETOENVIRONMENTAL,HAZARDORFLOODZONESTATUSISFORINFORMATIONALPURPOSESONLYANDSHALLBE INDEPENDENTLYVERIFIEDBYTHEENDUSER.THEINFORMATIONCONTAINEDHEREINSHALLNOTBEUTILIZED:(A)TOREVIEWORESTABLISHACONSUMER'SCREDITAND/ORINSURANCEELIGIBILITYORFOR ANYOTHERPURPOSETHATWOULDCAUSETHEREPORTTOCONSTITUTEA"CONSUMERREPORT"UNDERTHEFAIRCREDITREPORTINGACT,15U.S.C.§1681ETSEQ.;OR(B)INCONNECTIONWITH CERTIFICATIONORAUTHENTICATIONOFREALESTATEOWNERSHIPAND/ORREALESTATETRANSACTIONS.ADDITIONALTERMSANDCONDITIONSSHALLAPPLYPURSUANTTOTHEAPPLICABLEAGREEMENT Copyright CONFIDENTIAL,PROPRIETARYAND/ORTRADESECRET TMSM®TRADEMARK(S)OFINTERCONTINENTALEXCHANGE,INC.ANDITSSUBSIDIARIESANDAFFILIATES. ©2025INTERCONTINENTALEXCHANGE,INC.ALLRIGHTSRESERVED.

Area Schools

Assigned School

Primary School: Chapman Elementary School

Middle School: West Sylvan Middle School

High School: Lincoln High School

Primary School

Chapman Elementary School 2

Middle School

West Sylvan Middle School 3

High School

Lincoln High School 1

Other School

1. Lincoln High School

Address: 1750 Sw Salmon St

District: Portland Sd 1J

Charter: No Magnet:

Title 1 Elig: 2-No

Male / Female: 791 / 715

2. Chapman Elementary School

Address: 1445 Nw 26Th Ave

Title 1: 6-Not a Title I school

District: Portland Sd 1J

Charter: No Magnet:

Title 1 Elig: 2-No

3. West Sylvan Middle School

Distance: 0.09 mile(s)

Type: 1-Regular school

Students: 1,525

Grade Levels: 9th Grade - 12th Grade

Distance: 1.22 mile(s)

Type: 1-Regular school

Students: 350

Title 1: 6-Not a Title I school Grade Levels: Kindergarten - 5th Grade

Male / Female: 175 / 170 Distance: 3.45 mile(s)

Address: 8111 Sw West Slope Dr

Charter: No

Title 1 Elig: 2-No

Male / Female: 386 / 361

District: Portland Sd 1J

Title 1: 6-Not a Title I school

Type: 1-Regular school

Students: 757

Grade Levels: 6th Grade - 8th Grade

STEPS IN A REAL ESTATE TRANSACTION

1

What is an Escrow?

THE LISTING AGREEMENT

The property owner (Seller) initiates a contract, or a listing agreement, with a licensed Real Estate Agent.

2

THE SALE

Property owner (Seller) enters into a purchase contract, typically referred to as an Earnest Money Agreement, with a Buyer.

3

ESCROW

As part of the purchase contract, Seller agrees to purchase a title insurance policy for the Buyer and both agree to close the transaction with a licensed escrow company. In Oregon, most title insurance companies also offer escrow services to facilitate a convenient “one-stop” approach to closing real estate transactions.

An escrow is a neutral third party depository for legal documents and funds necessary to complete a real estate transaction. The escrow agent will disburse funds and record documents for the proper recipients according to their written instructions.

What title insurance and escrow costs are incurred in a real estate sale?

The fee for escrow services is based on the sales price of the property. This fee is typically split equally between the Seller and Buyer. However, Buyers should check with their lenders if financing is involved because some federally insured lending programs do not allow borrowers to pay this fee. The Seller typically pays for a standard owner’s policy of title insurance which names the Buyer as the insured. Charges for this policy are based on the sales price of the property. The Buyer typically pays for a lender’s policy of title insurance and any required endorsements if s/he is obtaining a new loan to purchase the property. Charges for this policy are based on the loan amount.

What services does an escrow agent perform on behalf of the Seller and Buyer?

• Upon opening of escrow, escrow agent will order a preliminary title report, which will be sent to all interested parties involved in the transaction. The report will detail the current ownership, liens and encumbrances of the property.

• Closing statements will be prepared for each party, showing all credits and debits. The escrow agent will schedule appointments for all parties to sign their final necessary documents, including any funds needed to be deposited, to complete the transaction.

• Signed loan documents are returned to the Lender, for final review and funding approval.

• Recordable documents are released to the County Clerk’s office for recording.

• Once recorded, all funds are disbursed per written instructions.

• Final title policies are issued to the insured parties.

FROM PENDING TO SOLD

ESCROW FLOW CHART

Receive and review Earnest Money Agreement and Broker’s instructions.

Open escrow. Order title report.

Determine financing.

Information gathering from Buyer and Seller.

Receive title report. Send copies to all parties in the transaction.

Resolve any title issues. Order any payoff demands.

Review file. Are conditions satisfied? Contingencies removed?

Prepare closing statement, closing instructions and transfer deed

Obtain signatures on all escrow and loan documents. Collect any funds due from Buyer and/or Seller

Record applicable documents with the County Recorder's office.

Close file. Prepare final statements. Disburse funds.

Forward final documents to all interested parties - Buyer, Seller, Real Estate Agents, Lender, Broker, Attorney, etc.

NEW LOAN

Notify Escrow with name of new lender and loan officer.

Send title report to lender.

Notification of final loan approval. Are repairs complete?

Deliver Seller & Buyer Closing Disclosures. Buyers’ consummation 3-6 days.

Loan documents delivered to escrow.

Return loan documents for final approval to fund and record.

Order loan funds.

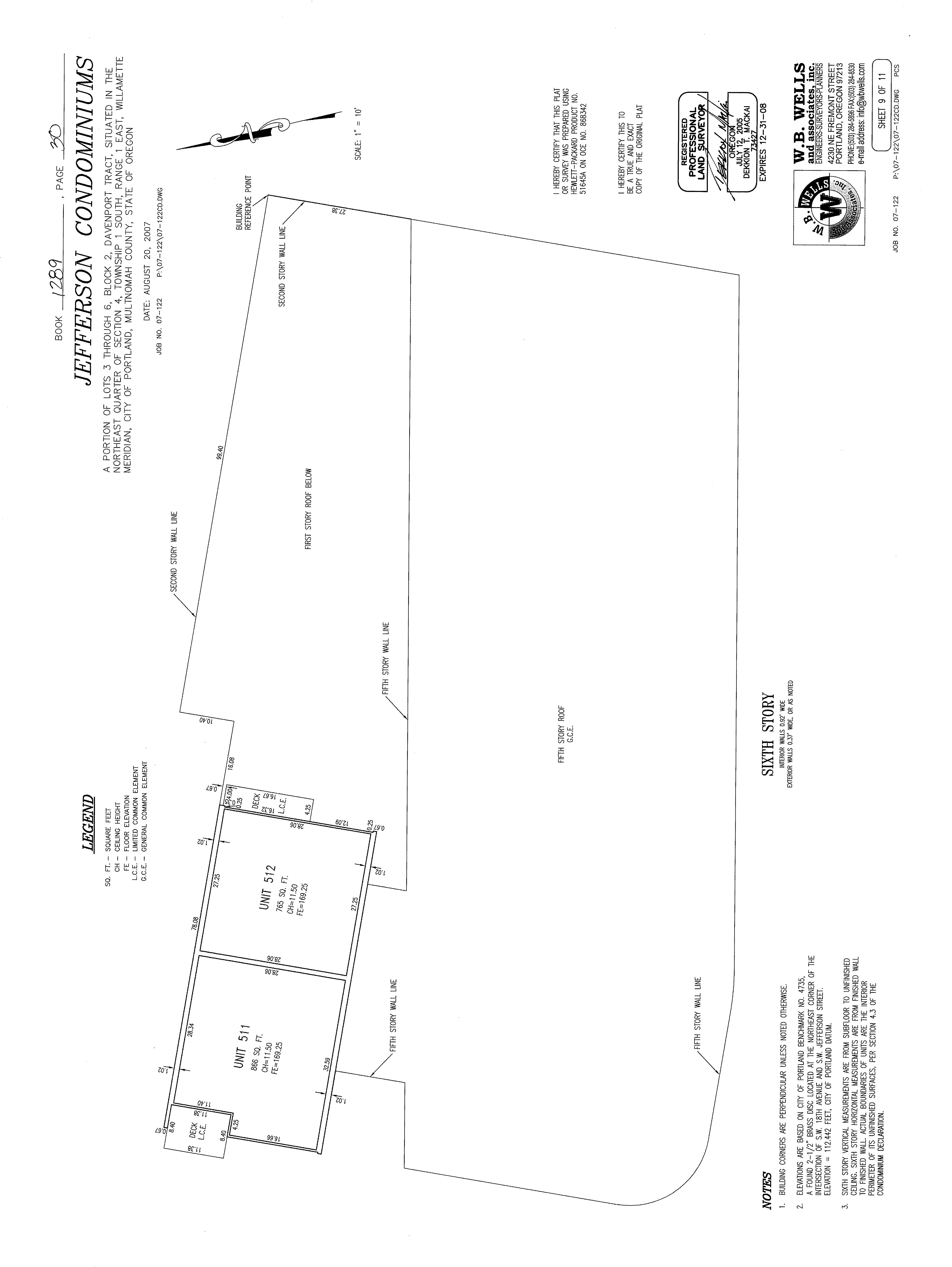
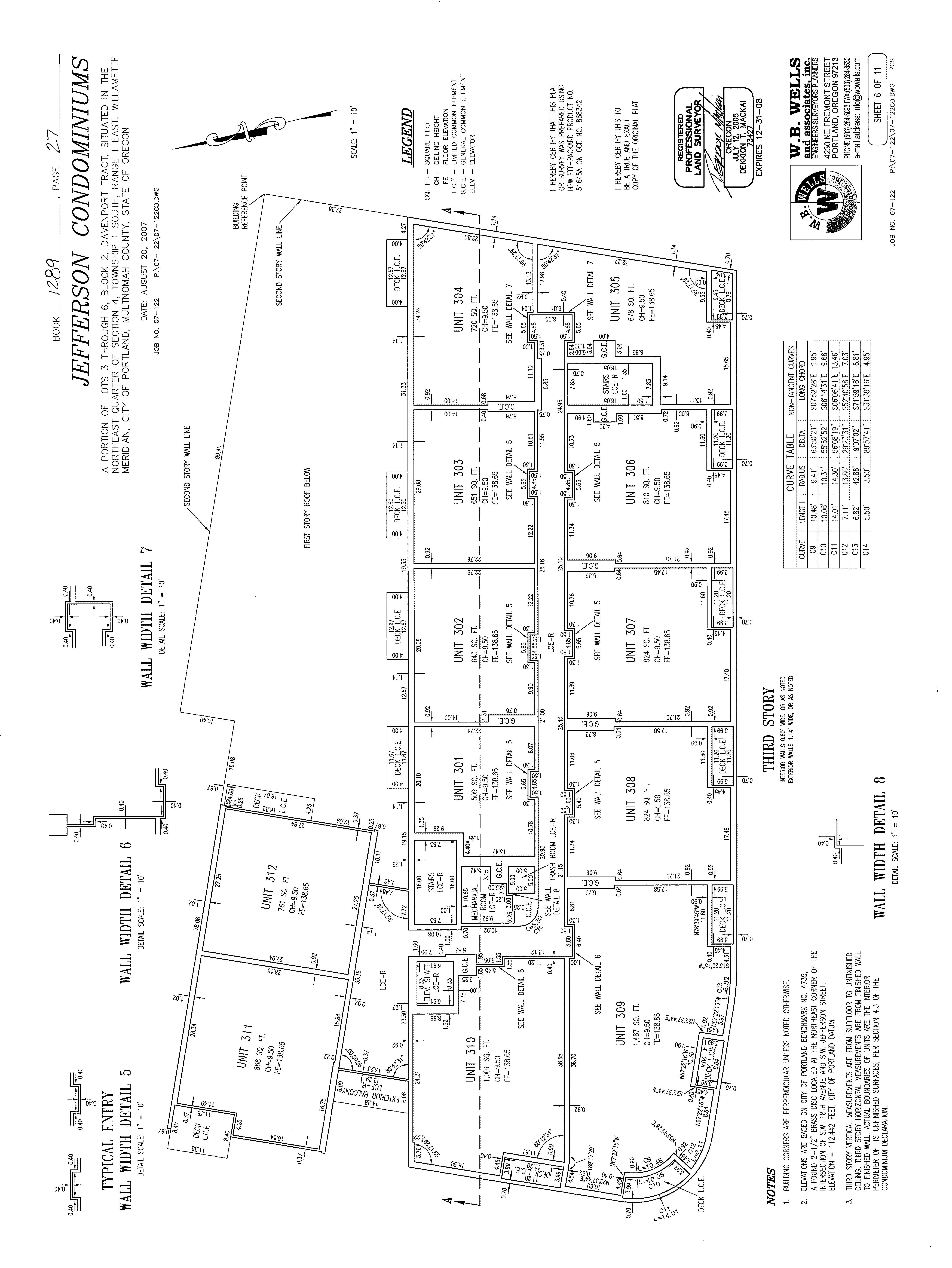
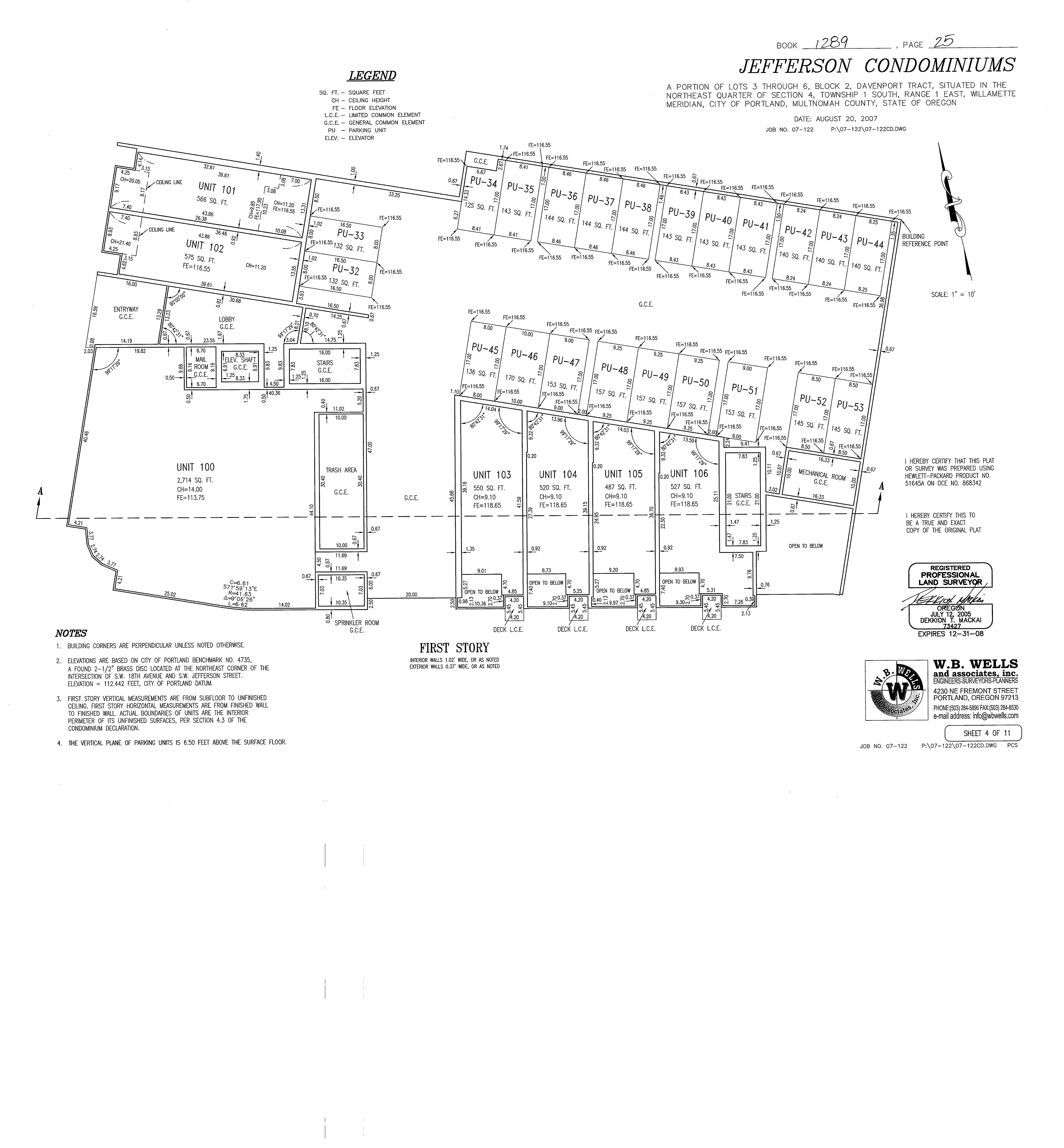
This map/plat is being furnished as an aid in locating the herein described Land in relation to adjoining streets, natural boundaries and other land, and is not a survey of the land depicted. Except to the extent a policy of title insurance is expressly modified by endorsement, if any, the Company does not insure dimensions, distances, location of easements, acreage or other matters shown thereon.

This map/plat is being furnished as an aid in locating the herein described Land in relation to adjoining streets, natural boundaries and other land, and is not a survey of the land depicted. Except to the extent a policy of title insurance is expressly modified by endorsement, if any, the Company does not insure dimensions, distances, location of easements, acreage or other matters shown thereon.

This map/plat is being furnished as an aid in locating the herein described Land in relation to adjoining streets, natural boundaries and other land, and is not a survey of the land depicted. Except to the extent a policy of title insurance is expressly modified by endorsement, if any, the Company does not insure dimensions, distances, location of easements, acreage or other matters shown thereon.

This map/plat is being furnished as an aid in locating the herein described Land in relation to adjoining streets, natural boundaries and other land, and is not a survey of the land depicted. Except to the extent a policy of title insurance is expressly modified by endorsement, if any, the Company does not insure dimensions, distances, location of easements, acreage or other matters shown thereon.

This map/plat is being furnished as an aid in locating the herein described Land in relation to adjoining streets, natural boundaries and other land, and is not a survey of the land depicted. Except to the extent a policy of title insurance is expressly modified by endorsement, if any, the Company does not insure dimensions, distances, location of easements, acreage or other matters shown thereon.

This map/plat is being furnished as an aid in locating the herein described Land in relation to adjoining streets, natural boundaries and other land, and is not a survey of the land depicted. Except to the extent a policy of title insurance is expressly modified by endorsement, if any, the Company does not insure dimensions, distances, location of easements, acreage or other matters shown thereon.

This map/plat is being furnished as an aid in locating the herein described Land in relation to adjoining streets, natural boundaries and other land, and is not a survey of the land depicted. Except to the extent a policy of title insurance is expressly modified by endorsement, if any, the Company does not insure dimensions, distances, location of easements, acreage or other matters shown thereon.

This map/plat is being furnished as an aid in locating the herein described Land in relation to adjoining streets, natural boundaries and other land, and is not a survey of the land depicted. Except to the extent a policy of title insurance is expressly modified by endorsement, if any, the Company does not insure dimensions, distances, location of easements, acreage or other matters shown thereon.

This map/plat is being furnished as an aid in locating the herein described Land in relation to adjoining streets, natural boundaries and other land, and is not a survey of the land depicted. Except to the extent a policy of title insurance is expressly modified by endorsement, if any, the Company does not insure dimensions, distances, location of easements, acreage or other matters shown thereon.

This map/plat is being furnished as an aid in locating the herein described Land in relation to adjoining streets, natural boundaries and other land, and is not a survey of the land depicted. Except to the extent a policy of title insurance is expressly modified by endorsement, if any, the Company does not insure dimensions, distances, location of easements, acreage or other matters shown thereon.

This map/plat is being furnished as an aid in locating the herein described Land in relation to adjoining streets, natural boundaries and other land, and is not a survey of the land depicted. Except to the extent a policy of title insurance is expressly modified by endorsement, if any, the Company does not insure dimensions, distances, location of easements, acreage or other matters shown thereon.

Turn static files into dynamic content formats.

Create a flipbook