Skip to main content

Dag Mavrolas 13187 NW Burton St Home Book

Page 1


Subject Property

County Name: Washington

APN / Parcel Number: R1423533

Current Ownership: Amit Jain & Shruti Aggarwal

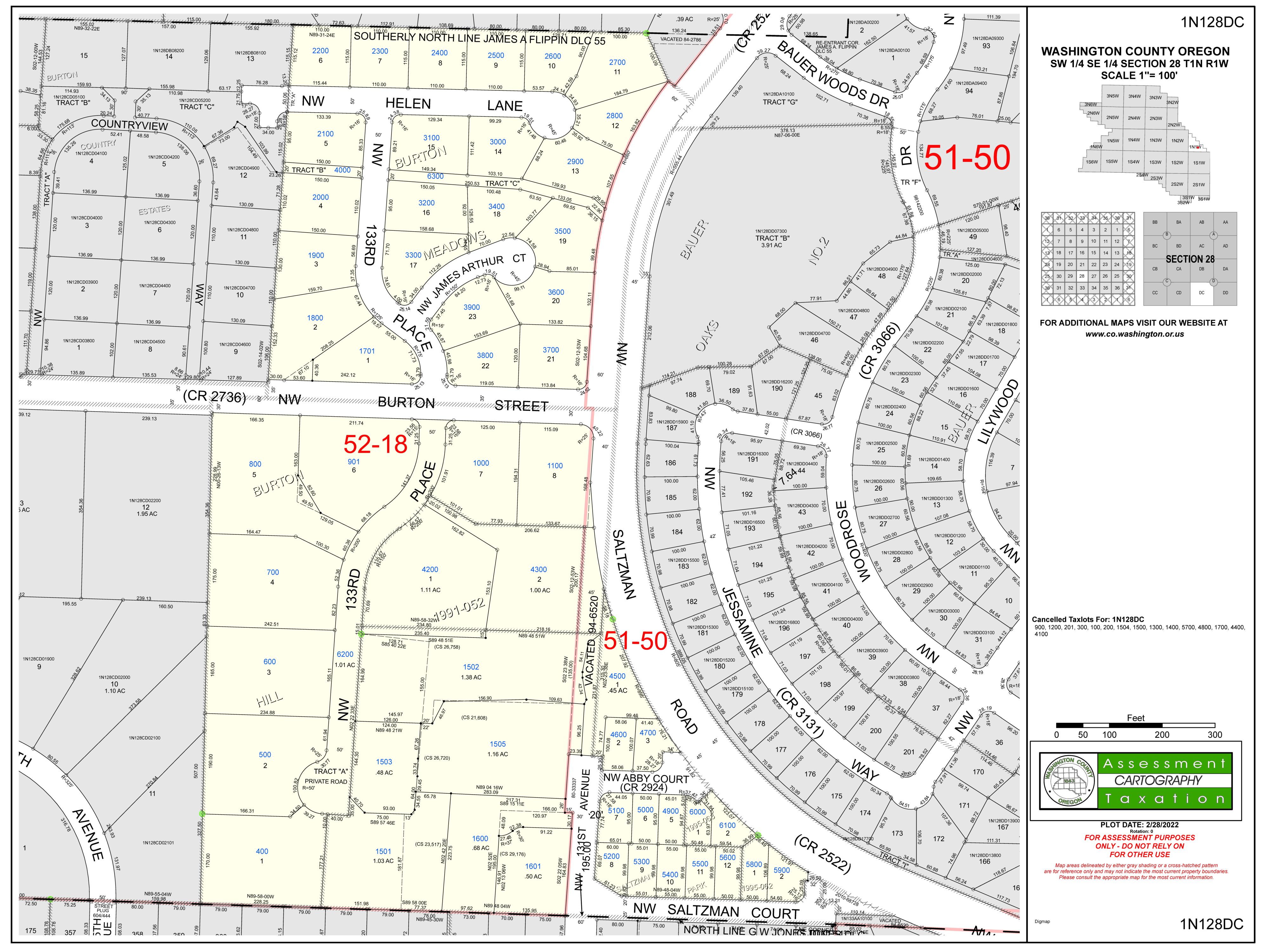
Site Address: 13187 NW Burton St, Portland OR 97229

Mail Address: 414 Light St Apt 1201, Baltimore MD 21230 *Out of State Owner

Tract / Subdivision: / Burton Meadows

Census Tract / Block: 031507 / 4007

Lot / Block: 21

Twn / Rng / Sec / Qtr: 01N / 01W / 28 / SE

Sale Information

Sale Recording Date: 10/23/2020

Property Characteristics

4

Property Details

R1423533

Sentry Dynamics, Inc and its customers make no representations, warranties or conditions, express or implied, as to the accuracy or completeness of information contained in this report

Parcel ID: R1423533
Sentry Dynamics, Inc
its
Shea

Parcel ID: R1423533

SiteAddress: 13187 NW Burton St

Sentry Dynamics, Inc and its customers make no representations, warranties or conditions, express or implied, as to the accuracy or completeness of information contained in this report

Parcel ID: R1423533

SiteAddress: 13187 NW Burton St

Sentry Dynamics, Inc and its customers make no representations, warranties or conditions, express or implied, as to the accuracy or completeness of information contained in this report

Details Bills PaymentHistory

2026GENERALINFORMATION

PropertyStatus AActive

PropertyType Residential

LegalDescription BURTONMEADOWS,LOT21,ACRES 0.36

AlternateAccountNumber -

Neighborhood SALZSALTZMANRD

MapNumber 1N128DC03700

PropertyUse 1010:RESIDENTIALIMPROVED

LevyCodeArea 052.18

2025CertiedTaxRate 16.8209

2026OWNERINFORMATION

OwnerName JAIN,AMIT&AGGARWAL,SHRUTI

MailingAddress 414LIGHTSTAPT1201BALTIMORE, MD21230

2025IMPROVEMENTS

2025LANDSEGMENTS

CERTIFIED/INPROCESSVALUES

RELATEDPROPERTIES

LinkedPropertiesPropertyGroupID -

GroupedPropertiesSplit/MergeDateSplit/MergeAccountsSplit/MergeMessage -

10/13/2020 JAIN,SUNIL&JAIN, SAPNA JAIN,AMIT& AGGARWAL, SHRUTI

2020105708

JAIN,SUNILKUMAR JAIN,SUNIL&JAIN, SAPNA 2015066511

2/7/2007 DEUTSCHEBANK NATIONALTRCO TR JAIN,SUNILKUMAR 2007014904

RAVINS,JOHNA& CATALINAS

DEUTSCHEBANK NATIONALTRCO TR

RAVINS,JOHNA RAVINS,JOHNA& CATALINAS

RAVINS,JOHNA& CATALINAS

$1,100,000 DW

DBS

$635,000 DW

2006107301 - DTR

2004030026 - DBS

RAVINS,JOHNA 2004029605

RAVINS,CATALINA RAVINS,JOHNA& CATALINAS

RAVINS,JOHNAND CATALINA

3/6/1989 BURTON MEADOWSJOINT

DBS

2002078906 - DBS

RAVINS,CATALINA 2001018989 - DW

RAVINS,JOHNAND CATALINA 1989010569 $45,000 UNK BURTON MEADOWSJOINT PLAT6218 - UNK

WASH2024187794

WASH2023176133

Age Distribution

Area Schools

Assigned School

Primary School: Terra Linda Elementary School

Middle School: Tumwater Middle School

High School: Sunset High School

Primary School

Terra Linda Elementary School 1

Middle School

Tumwater Middle School 3

High School

Sunset High School 2

Other School

1. Terra Linda Elementary School

Address: 1998 Nw 143Rd Ave District: Beaverton Sd 48J

Charter: No

Title 1 Elig: 2-No

2. Sunset High School

Distance: 0.46 mile(s)

Type: 1-Regular school

Students: 287

Title 1: 6-Not a Title I school Grade Levels: Kindergarten - 5th Grade

Male / Female: 156 / 131 Distance: 0.72 mile(s)

Address: 13840 Nw Cornell Rd District: Beaverton Sd 48J

Charter: No Magnet:

Title 1 Elig: 2-No

3. Tumwater Middle School

Type: 1-Regular school

Students: 1,879

Title 1: 6-Not a Title I school Grade Levels: 9th Grade - 12th Grade

Male / Female: 958 / 919 Distance: 1.14 mile(s)

Address: 650 Nw 118Th Ave District: Beaverton Sd 48J

Charter: No

Title 1 Elig: 2-No

Male / Female: 523 / 453

Type: 1-Regular school

Students: 976

Title 1: 6-Not a Title I school Grade Levels: 6th Grade - 8th Grade

Scan QR Code for CC&Rs

CC&Rs: Burton Meadows

STEPS IN A REAL ESTATE TRANSACTION

1

What is an Escrow?

THE LISTING AGREEMENT

The property owner (Seller) initiates a contract, or a listing agreement, with a licensed Real Estate Agent.

2

THE SALE

Property owner (Seller) enters into a purchase contract, typically referred to as an Earnest Money Agreement, with a Buyer.

3

ESCROW

As part of the purchase contract, Seller agrees to purchase a title insurance policy for the Buyer and both agree to close the transaction with a licensed escrow company. In Oregon, most title insurance companies also offer escrow services to facilitate a convenient “one-stop” approach to closing real estate transactions.

An escrow is a neutral third party depository for legal documents and funds necessary to complete a real estate transaction. The escrow agent will disburse funds and record documents for the proper recipients according to their written instructions.

What title insurance and escrow costs are incurred in a real estate sale?

The fee for escrow services is based on the sales price of the property. This fee is typically split equally between the Seller and Buyer. However, Buyers should check with their lenders if financing is involved because some federally insured lending programs do not allow borrowers to pay this fee. The Seller typically pays for a standard owner’s policy of title insurance which names the Buyer as the insured. Charges for this policy are based on the sales price of the property. The Buyer typically pays for a lender’s policy of title insurance and any required endorsements if s/he is obtaining a new loan to purchase the property. Charges for this policy are based on the loan amount.

What services does an escrow agent perform on behalf of the Seller and Buyer?

• Upon opening of escrow, escrow agent will order a preliminary title report, which will be sent to all interested parties involved in the transaction. The report will detail the current ownership, liens and encumbrances of the property.

• Closing statements will be prepared for each party, showing all credits and debits. The escrow agent will schedule appointments for all parties to sign their final necessary documents, including any funds needed to be deposited, to complete the transaction.

• Signed loan documents are returned to the Lender, for final review and funding approval.

• Recordable documents are released to the County Clerk’s office for recording.

• Once recorded, all funds are disbursed per written instructions.

• Final title policies are issued to the insured parties.

FROM PENDING TO SOLD

ESCROW FLOW CHART

Receive and review Earnest Money Agreement and Broker’s instructions.

Open escrow. Order title report.

Determine financing.

Information gathering from Buyer and Seller.

Receive title report. Send copies to all parties in the transaction.

Resolve any title issues. Order any payoff demands.

Review file. Are conditions satisfied? Contingencies removed?

Prepare closing statement, closing instructions and transfer deed

Obtain signatures on all escrow and loan documents. Collect any funds due from Buyer and/or Seller

Record applicable documents with the County Recorder's office.

Close file. Prepare final statements. Disburse funds.

Forward final documents to all interested parties - Buyer, Seller, Real Estate Agents, Lender, Broker, Attorney, etc.

NEW LOAN

Notify Escrow with name of new lender and loan officer.

Send title report to lender.

Notification of final loan approval. Are repairs complete?

Deliver Seller & Buyer Closing Disclosures. Buyers’ consummation 3-6 days.

Loan documents delivered to escrow.

Return loan documents for final approval to fund and record.

Order loan funds.

Turn static files into dynamic content formats.

Create a flipbook