Skip to main content

Ashley & Ryan McConnaughey 28242 SW Amsterdam Ave Home Book

Page 1


Property

County Name: Clackamas

APN / Parcel Number: 05031290

Current Ownership: Brent & Andrea Meyers

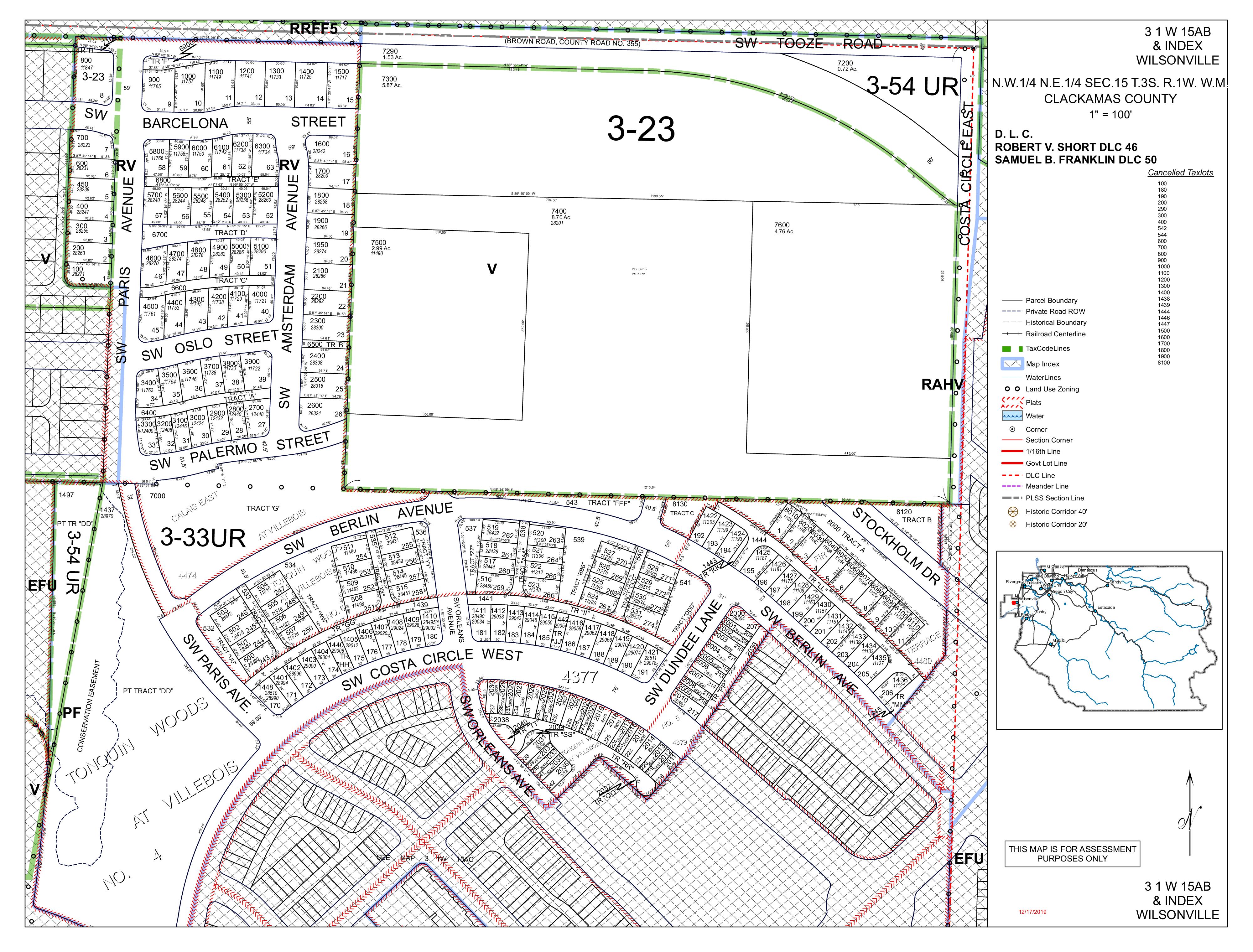
Site Address: 28242 SW Amsterdam Ave, Wilsonville OR 97070

Mail Address: 28242 SW Amsterdam Ave, Wilsonville OR 97070 *Owner Occupied

Tract / Subdivision: / Calais At Villebois East

Census Tract / Block: 022707 / 4006

Lot / Block: 16

Twn / Rng / Sec / Qtr: 03S / 01W / 15 / NW

Brief Legal Description: Subdivision CALAIS EAST AT VILLEBOIS 4474 LT 16

Sale Information

Sale Recording Date: 06/25/2019

Property Characteristics

Sentry Dynamics, Inc and its customers make no representations, warranties or conditions, express or implied, as to the accuracy or completeness of information contained in this report

Parcel ID: 05031290
Shea

Parcel ID: 05031290

SiteAddress: 28242 SWAmsterdamAve

Sentry Dynamics, Inc and its customers make no representations, warranties or conditions, express or implied, as to the accuracy or completeness of information contained in this report

Parcel ID: 05031290

SiteAddress: 28242 SWAmsterdamAve

Sentry Dynamics, Inc and its customers make no representations, warranties or conditions, express or implied, as to the accuracy or completeness of information contained in this report

Property Account Summary

GeneralInformation

AlternateProperty#

PropertyDescription SubdivisionCALAISEASTATVILLEBOIS4474LT16

LastSalePrice $594,78400

LastSaleDate 06/27/2019

LastSaleExciseNumber 355046

Remarks

PropertyCharacteristics

Parents

ParcelNo.

Children

ParcelNo.

No Children Found

ActiveExemptions No Exemptions Found

Events

03/27/2024 03/27/2024 16:07:00 Annexation Completed For Property CANCEL DUPLICATE TCA 003-033 TO 003-023-annexed by 003-023 for 2024Revise TCA Membership by DEENAMEH

01/07/2020 01/07/2020 08:38:00 The situs address has changed by DROME

06/25/2019 06/27/2019 17:09:00 Recording Processed Property Transfer Filing No.: 355046, Special Warranty Deed, Recording No.: 2019-036265 06/25/2019 by HALLEYWUN

06/25/2019 06/27/2019 17:09:00 Taxpayer Changed Property Transfer Filing No.: 355046 06/25/2019 by HALLEYWUN

03/01/2017 03/01/2017 17:03:00 Created by Seg/Merge Created by Seg/Merge SM170177, Effective: 01/02/2016 by DROME

TaxBalance

InstallmentsPayable

No Records Found

InstallmentsPayable/PaidforTaxYear(Enter4-digitYear,thenClick-Here): 2025

Receipts

5868005 (ReceiptDetail.aspx? receiptnumber=5868005)

5680066 (ReceiptDetail.aspx? receiptnumber=5680066)

(ReceiptDetail.aspx? receiptnumber=5483448)

5296467 (ReceiptDetail.aspx? receiptnumber=5296467)

(ReceiptDetail.aspx? receiptnumber=5013892)

SalesHistory

Age Distribution

Area Schools

Assigned School

Primary School: Lowrie Primary School

Middle School: Inza R Wood Middle School

High School: Wilsonville High School

Primary School

Lowrie Primary School 1

Middle School

Inza R Wood Middle School 2

High School

Wilsonville High School 3

Other School

1. Lowrie Primary School

Distance: 0.58 mile(s)

Address: 28995 Sw Brown Rd District: West Linn-Wilsonville Sd 3J Type: 1-Regular school

Charter: No Magnet:

Title 1 Elig: 1-Yes

Male / Female: 262 / 196

2. Inza R Wood Middle School

Title 1: 5-Title I schoolwide school

Students: 458

Grade Levels: Prekindergarten5th Grade

Distance: 1.05 mile(s)

Address: 11055 Sw Wilsonville Rd District: West Linn-Wilsonville Sd 3J Type: 1-Regular school

Charter: No Magnet:

Title 1 Elig: 2-No

Male / Female: 242 / 235

3. Wilsonville High School

Students: 479

Title 1: 6-Not a Title I school Grade Levels: 6th Grade - 8th Grade

Distance: 2.43 mile(s)

Address: 6800 Wilsonville Rd District: West Linn-Wilsonville Sd 3J Type: 1-Regular school

Charter: No

Title 1 Elig: 2-No

Male / Female: 671 / 588

Title 1: 6-Not a Title I school

Students: 1,263

Grade Levels: 9th Grade - 12th Grade

Scan QR Code for CC&Rs

CC&Rs: Calais East at Villebois

STEPS IN A REAL ESTATE TRANSACTION

1

What is an Escrow?

THE LISTING AGREEMENT

The property owner (Seller) initiates a contract, or a listing agreement, with a licensed Real Estate Agent.

2

THE SALE

Property owner (Seller) enters into a purchase contract, typically referred to as an Earnest Money Agreement, with a Buyer.

3

ESCROW

As part of the purchase contract, Seller agrees to purchase a title insurance policy for the Buyer and both agree to close the transaction with a licensed escrow company. In Oregon, most title insurance companies also offer escrow services to facilitate a convenient “one-stop” approach to closing real estate transactions.

An escrow is a neutral third party depository for legal documents and funds necessary to complete a real estate transaction. The escrow agent will disburse funds and record documents for the proper recipients according to their written instructions.

What title insurance and escrow costs are incurred in a real estate sale?

The fee for escrow services is based on the sales price of the property. This fee is typically split equally between the Seller and Buyer. However, Buyers should check with their lenders if financing is involved because some federally insured lending programs do not allow borrowers to pay this fee. The Seller typically pays for a standard owner’s policy of title insurance which names the Buyer as the insured. Charges for this policy are based on the sales price of the property. The Buyer typically pays for a lender’s policy of title insurance and any required endorsements if s/he is obtaining a new loan to purchase the property. Charges for this policy are based on the loan amount.

What services does an escrow agent perform on behalf of the Seller and Buyer?

• Upon opening of escrow, escrow agent will order a preliminary title report, which will be sent to all interested parties involved in the transaction. The report will detail the current ownership, liens and encumbrances of the property.

• Closing statements will be prepared for each party, showing all credits and debits. The escrow agent will schedule appointments for all parties to sign their final necessary documents, including any funds needed to be deposited, to complete the transaction.

• Signed loan documents are returned to the Lender, for final review and funding approval.

• Recordable documents are released to the County Clerk’s office for recording.

• Once recorded, all funds are disbursed per written instructions.

• Final title policies are issued to the insured parties.

FROM PENDING TO SOLD

ESCROW FLOW CHART

Receive and review Earnest Money Agreement and Broker’s instructions.

Open escrow. Order title report.

Determine financing.

Information gathering from Buyer and Seller.

Receive title report. Send copies to all parties in the transaction.

Resolve any title issues. Order any payoff demands.

Review file. Are conditions satisfied? Contingencies removed?

Prepare closing statement, closing instructions and transfer deed

Obtain signatures on all escrow and loan documents. Collect any funds due from Buyer and/or Seller

Record applicable documents with the County Recorder's office.

Close file. Prepare final statements. Disburse funds.

Forward final documents to all interested parties - Buyer, Seller, Real Estate Agents, Lender, Broker, Attorney, etc.

NEW LOAN

Notify Escrow with name of new lender and loan officer.

Send title report to lender.

Notification of final loan approval. Are repairs complete?

Deliver Seller & Buyer Closing Disclosures. Buyers’ consummation 3-6 days.

Loan documents delivered to escrow.

Return loan documents for final approval to fund and record.

Order loan funds.

Turn static files into dynamic content formats.

Create a flipbook