Skip to main content

Alex Phan 7484 SW 194th Ter Home book

Page 1


Subject Property

County Name: Washington

APN / Parcel Number: R2164870

Current Ownership: David & Alexander Andres

Site Address: 7484 SW 194th Ter, Beaverton OR 97007

Mail Address: 7484 SW 194th Ter, Beaverton OR 97007 *Owner Occupied

Tract / Subdivision:

Census Tract / Block: 031804 / 3004

Lot / Block: 2

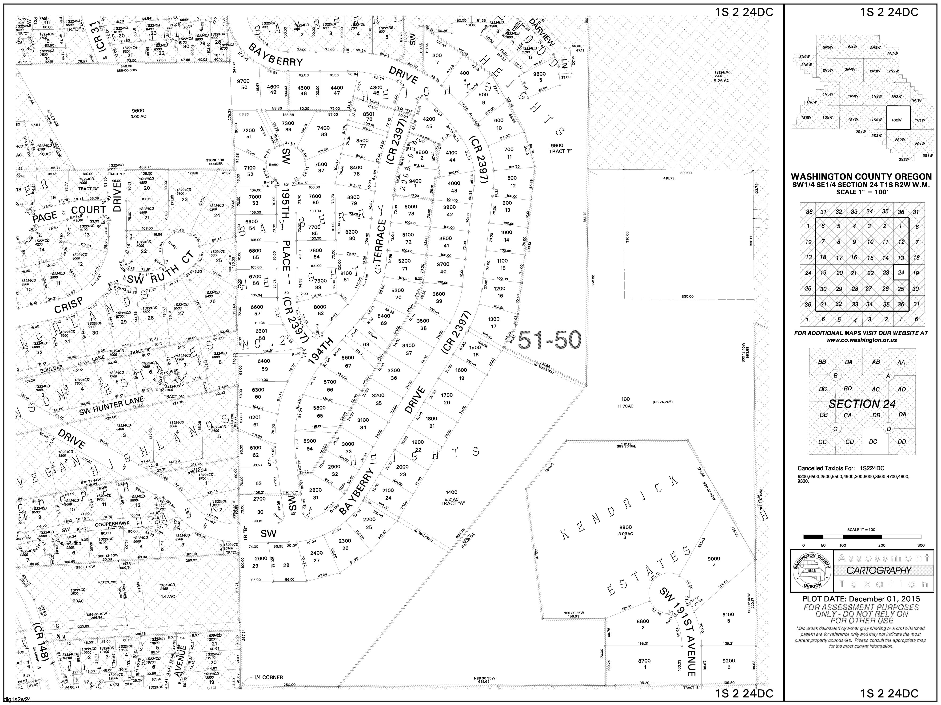
Twn / Rng / Sec / Qtr: 01S / 02W / 24 / SE Brief

Sale Information

Sale Recording Date: 06/14/2021

Property Characteristics

School District: Beaverton

Property Details

R2164870

Sentry Dynamics, Inc and its customers make no representations, warranties or conditions, express or implied, as to the accuracy or completeness of information contained in this report

Parcel ID: R2164870
Sentry Dynamics, Inc and its customers make
report 12/12/2025 Prepared by:Tracy Shea

Parcel ID: R2164870

SiteAddress: 7484 SW 194th Ter

Sentry Dynamics, Inc and its customers make no representations, warranties or conditions, express or implied, as to the accuracy or completeness of information contained in this report

Parcel ID: R2164870

SiteAddress: 7484 SW 194th Ter

Sentry Dynamics, Inc and its customers make no representations, warranties or conditions, express or implied, as to the accuracy or completeness of information contained in this report

Property Owner PropertyAddress

R2164870 ANDRES,DAVIDRONQUILLO &ALEXANDER,CHRISTINE 7484SW194THTER, UNINCORPORATED,OR 97007

Details Bills PaymentHistory

2026GENERALINFORMATION

PropertyStatus AActive

PropertyType Residential

LegalDescription 2008-066PARTITIONPLAT,LOT2, ACRES0.15

AlternateAccountNumberNeighborhood NCMTNORTHCOOPERMOUNTAIN

MapNumber 1S224DC09500

PropertyUse 1010:RESIDENTIALIMPROVED

LevyCodeArea 051.50

2025CertiedTaxRate 18.8976

2026OWNERINFORMATION

OwnerName ANDRES,DAVIDRONQUILLO& ALEXANDER,CHRISTINE

MailingAddress 7484SW194THTERBEAVERTON,OR 97007

2025IMPROVEMENTS

RELATEDPROPERTIES

LinkedPropertiesPropertyGroupIDGroupedPropertiesSplit/MergeDateSplit/MergeAccountsSplit/MergeMessage -

Expand/CollapseAll

 Improvement#1 ImprovementType Beds/Baths - Single-FamilyResidence 4/3

2025LANDSEGMENTS

6/4/2021 CLARY,ALISONJ& ANDERSON,DAVID ADAM ANDRES,DAVID RONQUILLO& ALEXANDER, CHRISTINE

ANDERSON,DAVID ADAM

&WEAVER, MARILYNA

JOINTTRUST

CurrentYearDue $0.00 PastYearsDue $0.00

$0.00

TAXSUMMARY

129866

2024136856

WASH2023129957

WASH2022133043

2021130805

132922

Households Breakdown

Age Distribution

Area Schools

Assigned School

Primary School: Hazeldale Elementary School

Middle School: Mountain View Middle School

High School: Aloha High School

Primary School

Hazeldale Elementary School 1

Middle School

Mountain View Middle School 3

High School

Aloha High School 2

1. Hazeldale Elementary School

Address: 20080 Sw Farmington Rd District: Beaverton Sd 48J

Charter: No

Title 1 Elig: 1-Yes

Male / Female: 235 / 196

2. Aloha High School

Magnet:

Title 1: 5-Title I schoolwide school

Address: 18550 Sw Kinnaman Rd District: Beaverton Sd 48J

Charter: No

Title 1 Elig: 2-No

Male / Female: 877 / 753

3. Mountain View Middle School

Magnet:

Title 1: 6-Not a Title I school

Address: 17500 Sw Farmington Rd District: Beaverton Sd 48J

Charter: No

Title 1 Elig: 2-No

Male / Female: 464 / 369

Magnet:

Title 1: 6-Not a Title I school

Distance: 0.42 mile(s)

Type: 1-Regular school

Students: 432

Grade Levels: Prekindergarten5th Grade

Distance: 1.34 mile(s)

Type: 1-Regular school

Students: 1,633

Grade Levels: 9th Grade - 12th Grade

Distance: 1 35 mile(s)

Type: 1-Regular school

Students: 834

Grade Levels: 6th Grade - 8th Grade

STEPS IN A REAL ESTATE TRANSACTION

1

What is an Escrow?

THE LISTING AGREEMENT

The property owner (Seller) initiates a contract, or a listing agreement, with a licensed Real Estate Agent.

2

THE SALE

Property owner (Seller) enters into a purchase contract, typically referred to as an Earnest Money Agreement, with a Buyer.

3

ESCROW

As part of the purchase contract, Seller agrees to purchase a title insurance policy for the Buyer and both agree to close the transaction with a licensed escrow company. In Oregon, most title insurance companies also offer escrow services to facilitate a convenient “one-stop” approach to closing real estate transactions.

An escrow is a neutral third party depository for legal documents and funds necessary to complete a real estate transaction. The escrow agent will disburse funds and record documents for the proper recipients according to their written instructions.

What title insurance and escrow costs are incurred in a real estate sale?

The fee for escrow services is based on the sales price of the property. This fee is typically split equally between the Seller and Buyer. However, Buyers should check with their lenders if financing is involved because some federally insured lending programs do not allow borrowers to pay this fee. The Seller typically pays for a standard owner’s policy of title insurance which names the Buyer as the insured. Charges for this policy are based on the sales price of the property. The Buyer typically pays for a lender’s policy of title insurance and any required endorsements if s/he is obtaining a new loan to purchase the property. Charges for this policy are based on the loan amount.

What services does an escrow agent perform on behalf of the Seller and Buyer?

• Upon opening of escrow, escrow agent will order a preliminary title report, which will be sent to all interested parties involved in the transaction. The report will detail the current ownership, liens and encumbrances of the property.

• Closing statements will be prepared for each party, showing all credits and debits. The escrow agent will schedule appointments for all parties to sign their final necessary documents, including any funds needed to be deposited, to complete the transaction.

• Signed loan documents are returned to the Lender, for final review and funding approval.

• Recordable documents are released to the County Clerk’s office for recording.

• Once recorded, all funds are disbursed per written instructions.

• Final title policies are issued to the insured parties.

FROM PENDING TO SOLD

ESCROW FLOW CHART

Receive and review Earnest Money Agreement and Broker’s instructions.

Open escrow. Order title report.

Determine financing.

Information gathering from Buyer and Seller.

Receive title report. Send copies to all parties in the transaction.

Resolve any title issues. Order any payoff demands.

Review file. Are conditions satisfied? Contingencies removed?

Prepare closing statement, closing instructions and transfer deed

Obtain signatures on all escrow and loan documents. Collect any funds due from Buyer and/or Seller

Record applicable documents with the County Recorder's office.

Close file. Prepare final statements. Disburse funds.

Forward final documents to all interested parties - Buyer, Seller, Real Estate Agents, Lender, Broker, Attorney, etc.

NEW LOAN

Notify Escrow with name of new lender and loan officer.

Send title report to lender.

Notification of final loan approval. Are repairs complete?

Deliver Seller & Buyer Closing Disclosures. Buyers’ consummation 3-6 days.

Loan documents delivered to escrow.

Return loan documents for final approval to fund and record.

Order loan funds.

Turn static files into dynamic content formats.

Create a flipbook
Alex Phan 7484 SW 194th Ter Home book by Lawyers Title Oregon - Issuu