Skip to main content

Alex Phan 5211 NE Stable Drive Home book

Page 1


Subject Property

County Name: Washington

APN / Parcel Number: R2005703

Current Ownership: Cheryl & Caryl Miller

Site Address: 5211 NE Stable Dr, Hillsboro OR 97124

Mail Address: 5211 NE Stable Dr, Hillsboro OR 97124 *Owner Occupied

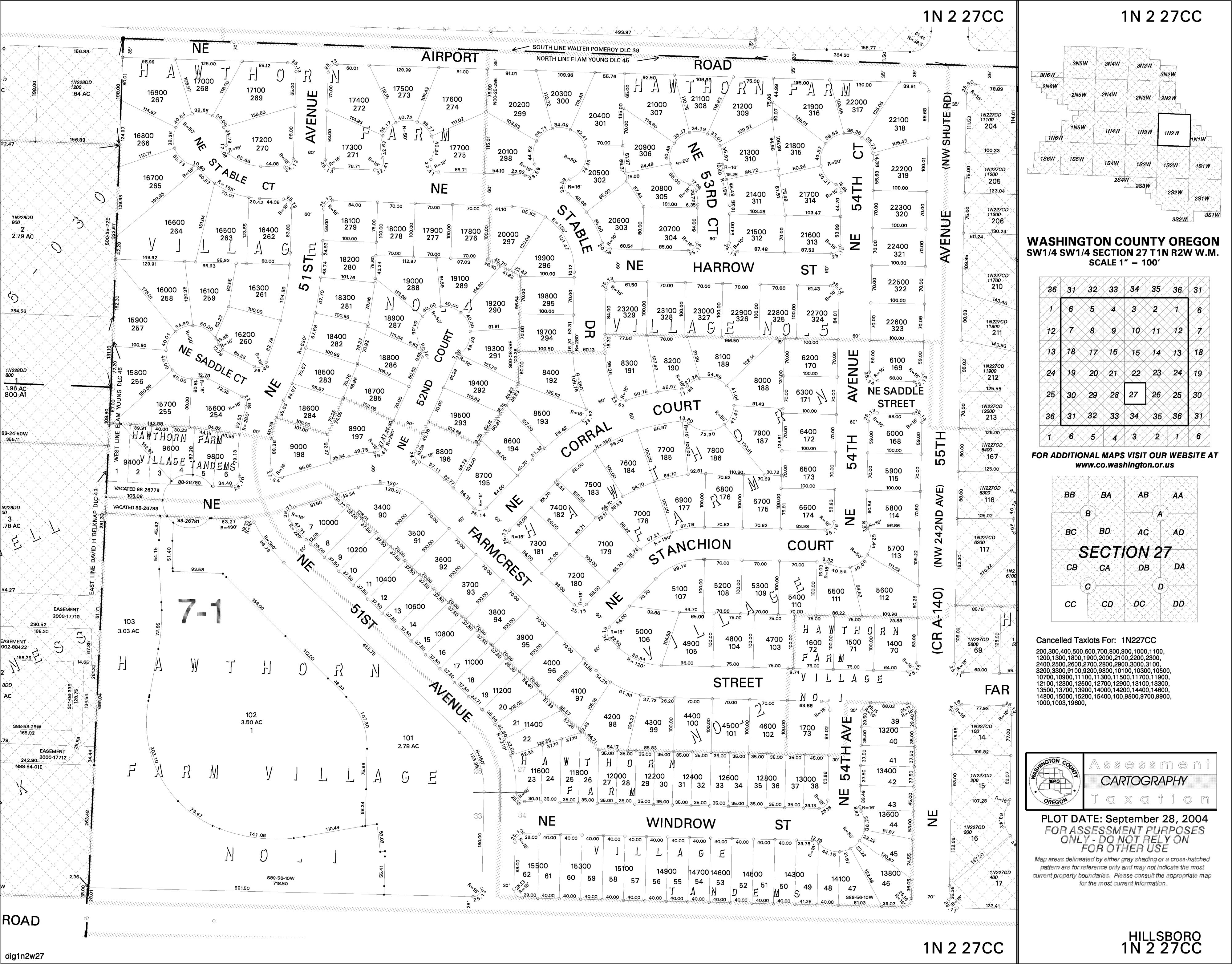
Tract / Subdivision: / Hawthorn Farm Village 05

Census Tract / Block: 032608 / 2013

Lot / Block: 298

Twn / Rng / Sec / Qtr: 01N / 02W / 27 / SE Brief Legal Description: HAWTHORN

Sale Information

Property Characteristics

3

Property Details

Sentry Dynamics, Inc and its customers make no representations, warranties or conditions, express or implied, as to the accuracy or completeness of information contained in this report

Parcel ID: R2005703
Sentry Dynamics, Inc and its customers make no representations, warranties or conditions, express or implied, as to the accuracy
report 08/05/2025 Prepared by:Tracy Shea

Parcel ID: R2005703

SiteAddress: 5211 NE Stable Dr

Sentry Dynamics, Inc and its customers make no representations, warranties or conditions, express or implied, as to the accuracy or completeness of information contained in this report

Parcel ID: R2005703

SiteAddress: 5211 NE Stable Dr

Sentry Dynamics, Inc and its customers make no representations, warranties or conditions, express or implied, as to the accuracy or completeness of information contained in this report

R2005703

Details Bills PaymentHistory

2025GENERALINFORMATION

PropertyStatus AActive

PropertyType Residential

LegalDescription HAWTHORNFARMVILLAGENO.5, LOT298,ACRES0.19

AlternateAccountNumber -

Neighborhood HAWTHAWTHORNEFARM/DAWSON CREEK

MapNumber 1N227CC20100

PropertyUse 1010:RESIDENTIALIMPROVED

LevyCodeArea 007.01

2024CertiedTaxRate 16.8358

2025OWNERINFORMATION

OwnerName MILLER,CHERYLRAE&MILLER, CARYLANN

MailingAddress 5211NESTABLEDRHILLSBORO,OR 97124

2024IMPROVEMENTS

RELATEDPROPERTIES

LinkedPropertiesPropertyGroupIDGroupedProperties -

Split/MergeDateSplit/MergeAccountsSplit/MergeMessage -

 Improvement#1 ImprovementType Beds/Baths - Single-FamilyResidence 3/2

2024LANDSEGMENTS

CERTIFIED/INPROCESSVALUES

SALESHISTORY

6/29/2023 JOHNSON,GERALD H&JOHNSON, JEANETTEM

MILLER,CHERYL RAE&MILLER, CARYLANN

6/21/2000 PEDERSON, DENNISR& MARILYNG JOHNSON,GERALD H&JOHNSON, JEANETTEM

8/30/1990 CLIFFWAIBEL CONSTRUCTION PEDERSON, DENNISR& MARILYNG

8/27/1990 QUADRANTCORP, THE CLIFFWAIBEL CONSTRUCTION

3/21/1990 QUADRANT CORPORATION, THE QUADRANTCORP, THE

Expand/CollapseAll

Sketch

TAXSUMMARY

$0.00

Age Distribution

Area Schools

Assigned School

Primary School: West Union Elementary School

Middle School: J W Poynter Middle School

High School: Liberty High School

Primary School

West Union Elementary School 3

Middle School

J W Poynter Middle School 1

High School

Liberty High School 2

Other School

1. J W Poynter Middle School

Address: 1535 Ne Grant St District: Hillsboro Sd 1J

Charter: No Magnet:

Title 1 Elig: 2-No

2. Liberty High School

Title 1: 6-Not a Title I school

Distance: 1.90 mile(s)

Type: 1-Regular school

Students: 687

Grade Levels: 7th Grade - 8th Grade

Male / Female: 323 / 364 Distance: 2.15 mile(s)

Address: 7445 Ne Wagon Dr District: Hillsboro Sd 1J

Charter: No Magnet:

Title 1 Elig: 2-No

3. West Union Elementary School

Type: 1-Regular school

Students: 1,435

Title 1: 6-Not a Title I school Grade Levels: 9th Grade - 12th Grade

Male / Female: 736 / 686 Distance: 2.73 mile(s)

Address: 23870 Nw West Union Rd District: Hillsboro Sd 1J

Charter: No

Title 1 Elig: 2-No

Male / Female: 186 / 132

Title 1: 6-Not a Title I school

Type: 1-Regular school

Students: 319

Grade Levels: Kindergarten - 6th Grade

Scan QR Code for CC&Rs

CC&Rs: Hawthorn Farm Village No. 5

STEPS IN A REAL ESTATE TRANSACTION

1

What is an Escrow?

THE LISTING AGREEMENT

The property owner (Seller) initiates a contract, or a listing agreement, with a licensed Real Estate Agent.

2

THE SALE

Property owner (Seller) enters into a purchase contract, typically referred to as an Earnest Money Agreement, with a Buyer.

3

ESCROW

As part of the purchase contract, Seller agrees to purchase a title insurance policy for the Buyer and both agree to close the transaction with a licensed escrow company. In Oregon, most title insurance companies also offer escrow services to facilitate a convenient “one-stop” approach to closing real estate transactions.

An escrow is a neutral third party depository for legal documents and funds necessary to complete a real estate transaction. The escrow agent will disburse funds and record documents for the proper recipients according to their written instructions.

What title insurance and escrow costs are incurred in a real estate sale?

The fee for escrow services is based on the sales price of the property. This fee is typically split equally between the Seller and Buyer. However, Buyers should check with their lenders if financing is involved because some federally insured lending programs do not allow borrowers to pay this fee. The Seller typically pays for a standard owner’s policy of title insurance which names the Buyer as the insured. Charges for this policy are based on the sales price of the property. The Buyer typically pays for a lender’s policy of title insurance and any required endorsements if s/he is obtaining a new loan to purchase the property. Charges for this policy are based on the loan amount.

What services does an escrow agent perform on behalf of the Seller and Buyer?

• Upon opening of escrow, escrow agent will order a preliminary title report, which will be sent to all interested parties involved in the transaction. The report will detail the current ownership, liens and encumbrances of the property.

• Closing statements will be prepared for each party, showing all credits and debits. The escrow agent will schedule appointments for all parties to sign their final necessary documents, including any funds needed to be deposited, to complete the transaction.

• Signed loan documents are returned to the Lender, for final review and funding approval.

• Recordable documents are released to the County Clerk’s office for recording.

• Once recorded, all funds are disbursed per written instructions.

• Final title policies are issued to the insured parties.

FROM PENDING TO SOLD

ESCROW FLOW CHART

Receive and review Earnest Money Agreement and Broker’s instructions.

Open escrow. Order title report.

Determine financing.

Information gathering from Buyer and Seller.

Receive title report. Send copies to all parties in the transaction.

Resolve any title issues. Order any payoff demands.

Review file. Are conditions satisfied? Contingencies removed?

Prepare closing statement, closing instructions and transfer deed

Obtain signatures on all escrow and loan documents. Collect any funds due from Buyer and/or Seller

Record applicable documents with the County Recorder's office.

Close file. Prepare final statements. Disburse funds.

Forward final documents to all interested parties - Buyer, Seller, Real Estate Agents, Lender, Broker, Attorney, etc.

NEW LOAN

Notify Escrow with name of new lender and loan officer.

Send title report to lender.

Notification of final loan approval. Are repairs complete?

Deliver Seller & Buyer Closing Disclosures. Buyers’ consummation 3-6 days.

Loan documents delivered to escrow.

Return loan documents for final approval to fund and record.

Order loan funds.

Turn static files into dynamic content formats.

Create a flipbook