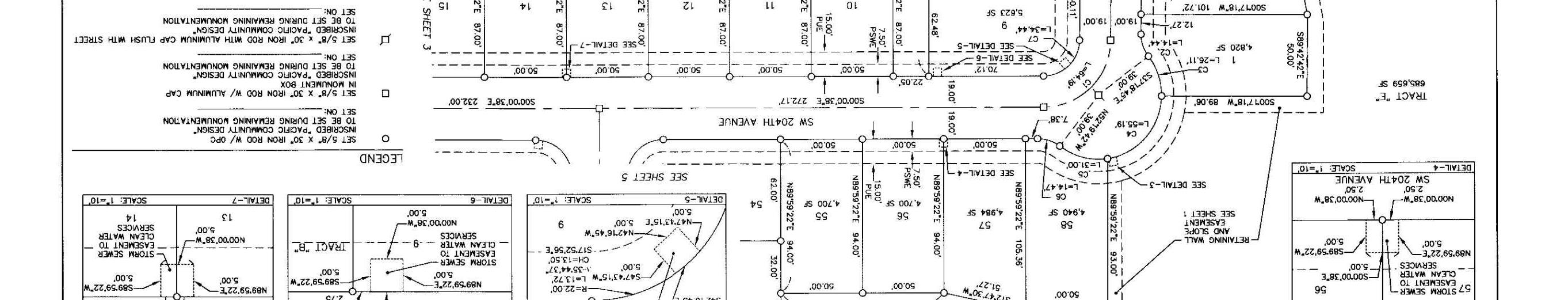
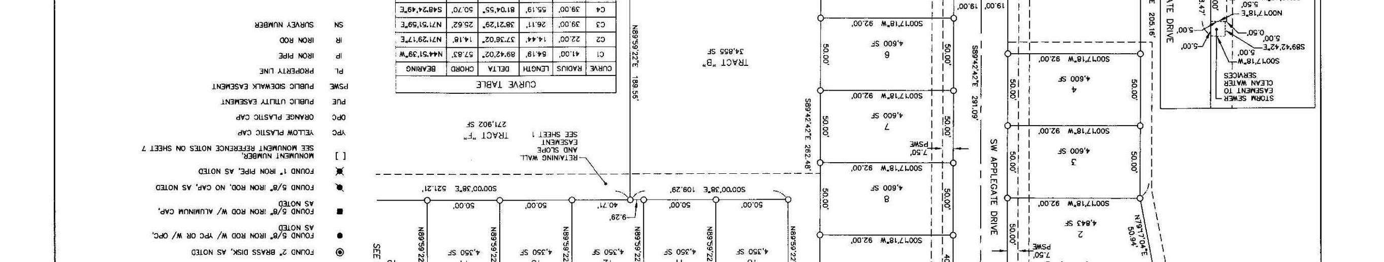
Skip to main content

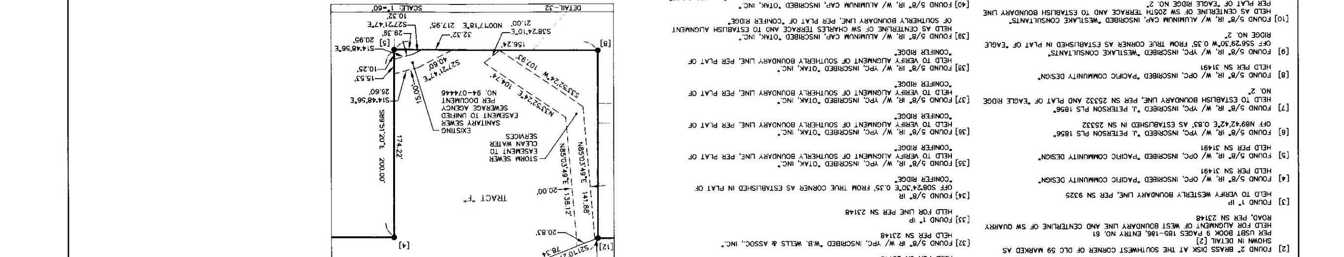
05HB CCR 7752 SW Charles Ter

Page 1


Turn static files into dynamic content formats.

Create a flipbook