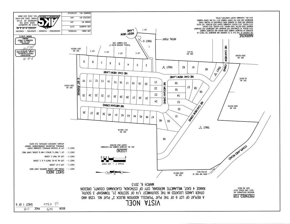
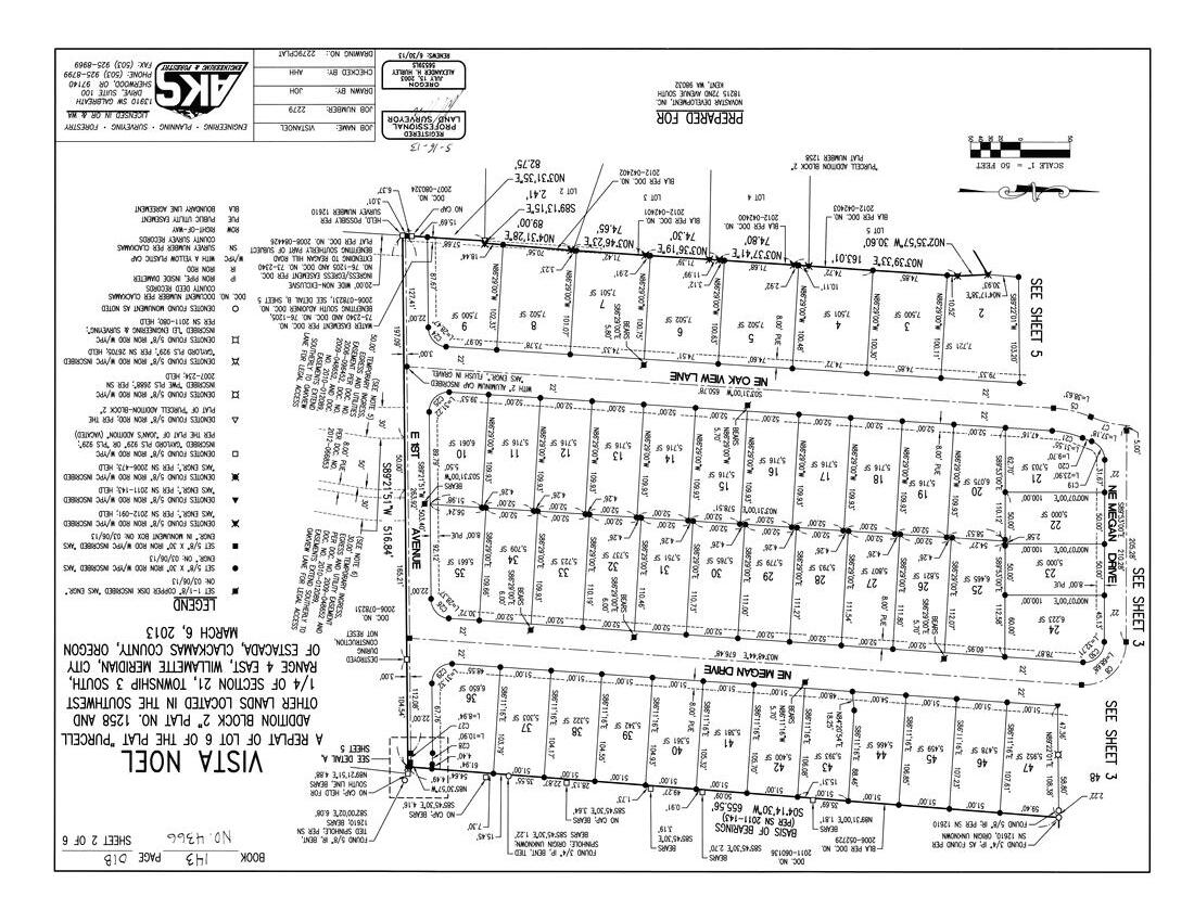
This map/plat is being furnished as an aid in locat ing the herein described Land in relation to adjoin ing streets, natural boundaries and other land, and is not a survey of the land depicted. Except to the extent a policy of title in surance is expressly modified by endorsement, if an y, the Company does not insure dimensions, distance s, location of easements, acreage or other matters shown thereon.

This map/plat is being furnished as an aid in locat ing the herein described Land in relation to adjoin ing streets, natural boundaries and other land, and is not a survey of the land depicted. Except to the extent a policy of title in surance is expressly modified by endorsement, if an y, the Company does not insure dimensions, distance s, location of easements, acreage or other matters shown thereon.

This map/plat is being furnished as an aid in locat ing the herein described Land in relation to adjoin ing streets, natural boundaries and other land, and is not a survey of the land depicted. Except to the extent a policy of title in surance is expressly modified by endorsement, if an y, the Company does not insure dimensions, distance s, location of easements, acreage or other matters shown thereon.

This map/plat is being furnished as an aid in locat ing the herein described Land in relation to adjoin ing streets, natural boundaries and other land, and is not a survey of the land depicted. Except to the extent a policy of title in surance is expressly modified by endorsement, if an y, the Company does not insure dimensions, distance s, location of easements, acreage or other matters shown thereon.

This map/plat is being furnished as an aid in locat ing the herein described Land in relation to adjoin ing streets, natural boundaries and other land, and is not a survey of the land depicted. Except to the extent a policy of title in surance is expressly modified by endorsement, if an y, the Company does not insure dimensions, distance s, location of easements, acreage or other matters shown thereon.

This map/plat is being furnished as an aid in locat ing the herein described Land in relation to adjoin ing streets, natural boundaries and other land, and is not a survey of the land depicted. Except to the extent a policy of title in surance is expressly modified by endorsement, if an y, the Company does not insure dimensions, distance s, location of easements, acreage or other matters shown thereon.





























































