

![]()


Para la sociedad mexicana, hablar de los arrecifes coralinos lleva a pensar en vacaciones paradisiacas, playas tropicales, y en uno de los espectáculos más bellos que la naturaleza nos puede dar. Los arrecifes coralinos son ecosistemas llenos de vida por lo que se reconocen como los sitios de más alta biodiversidad en los océanos.
La gran estabilidad ecológica de los arrecifes llevó a que se creyera que serían suficientemente resilientes para tolerar las actividades humanas y, por décadas, supusimos que con el establecimiento de áreas naturales protegidas y con llevar a cabo ciertos cuidados como limitar el número de visitas y entrenar a los visitantes para respetar la estructura y riqueza biológica sería suficiente para que los arrecifes fueran por muchos años una fuente de atracción turística, de recursos pesqueros, y por ello, de ingresos y servicios ambientales para las comunidades cuyo modo de vida depende de ellos. Sin embargo, la realidad nos deparaba una situación muy distinta. En todo el planeta, los corales y arrecifes se encuentran gravemente amenazados por el desarrollo desordenado, que se refleja principalmente en impactos excesivos del turismo, la pesca (legal e ilegal), la contaminación y la sedimentación producto del mal manejo de las cuencas asociadas a los arrecifes. Todos estos problemas se presentan a nivel local, pero se ven amplificados por perturbaciones de gran escala espacial, y eso fue muy evidente en los años 2023 y 2024, cuando fuimos testigos del año más cálido registrado históricamente en el océano.
Héctor Reyes
Correo-e: hreyes@uabcs.mx
Horacio de la Cueva
Correo-e: cuevas@cicese.mx

Las altas temperaturas, posiblemente generadas por la combinación del evento de El Niño, los materiales particulados enviados a la atmósfera por el volcán Hunga-Tonga, y el cambio climático causaron blanqueamientos generalizados y mortalidades masivas a los corales en todo el mundo. Desafortunadamente México no fue la excepción. En este número de La Jornada Ecológica nos acercamos a la problemática que trajo consigo el evento de calentamiento del mar y el consecuente blanqueamiento coralino sobre los ecosistemas en aguas mexicanas. Los trabajos que aparecen en este suple -
Gorgonia roja, algas pardas, Muricea califiornica captada en Isla Cedros, Baja California Sur
Foto: Octavio Aburto/ Conabio
En portada: corales totalmente blanqueados durante la onda de calor de 2023. Durante el blanqueamiento, los corales expulsan las microalgas que les dan color
mento fueron preparados por expertos que realizan sus labores en instituciones nacionales de investigación y educación superior, cubriendo una gran gama de temas, desde la descripción de los efectos de esas perturbaciones en diversas zonas del Pacífico mexicano y el Mar Caribe, y la influencia que tuvieron sobre los ecosistemas de arrecifes profundos. Además, varios autores mencionan alternativas que potencialmente puedan ayudar a la recuperación de los ecosistemas dañados en ambas costas de México. Para concluir, es importante señalar que ahora el gobierno federal, por medio de la Comi -
sión Nacional de Áreas Naturales Protegidas, está preparando un Plan de Acción ante el Blanqueamiento Coralino. Sin duda marcará la política pública a seguir en el caso que estos eventos se presenten. Creemos que la preparación de este plan debe llevarse a cabo desde la perspectiva de la gobernanza participativa, de tal forma que personas de gobierno, academia, organizaciones civiles, iniciativa privada y residentes locales que hacen uso de los de los recursos arrecifales, unan sus esfuerzos e ideas para alcanzar las mejores soluciones locales, que se traducirán en beneficios para el país y el mundo.
Luis Eduardo Calderón Aguilera CICESE
Correo-e: leca@cicese.mx

rrecifes mesofóticos como refugios ante el blanqueamiento de corales
D esde la década de los 1990 surgió la idea de que los arrecifes más profundos estarían menos expuestos a impactos antropogénicos, como la contaminación y la pesca; y a tormentas, huracanes, marejadas y otros eventos extremos. Así, surge la que ha sido acuñada como la “hipótesis del refugio profundo”.
Los arrecifes mesofóticos son ecosistemas caracterizados por la presencia de corales que dependen de la luz y comunidades asociadas y que se encuentran desde los 30 o 40 metros de profundidad hasta los 150, en regiones tropicales y subtropicales.
Los corales que dependen de la luz se llaman zooxantelados y en realidad es un holobionte, una asociación biológica compuesta por un animal –el coral– y unas microalgas que viven dentro de él, llamadas dinoflagelados o zooxantelas.
Como cualquier vegetal, estas microalgas dependen de la luz para llevar a cabo la fotosíntesis y por eso la restricción impuesta por la luz en su distribución batimétrica (de profundidad). Etimológicamente mesofótico significa "luz media " y en sentido estricto sería como aquella profundidad a la que llega el 50 por ciento de la luz que incide en superficie.
Sin embargo, la definición de mesofótico se ha usado con laxitud y al gusto de cada autor; para unos la profundidad mesofótica va del 50 por ciento al 10 por ciento de penetración luminosa, para otros del 50 por ciento al 1 por ciento; para otros, del 10 por ciento al 1 por ciento y para muchos simplemente
todo lo que está a más de 30 metros de profundidad. La penetración de la luz en la columna de agua depende de muchos factores, principalmente de la cantidad de ma -
Islas Marietas, Nayarit
Foto:
archivo Conanp
teria orgánica e inorgánica en suspensión. Por ejemplo, en las aguas cristalinas del Caribe, llamadas oligotróficas o con poco nutrientes, la luz llega hasta 80 metros de profun -

didad, mientras que en el Pacífico oriental tropical hay poca luz en profundidades tan someras como 20 metros.
En realidad el límite de arrecifes mesofóticos se estableció porque el buceo científico con SCUBA (equipo autónomo para buceo) se restringe a los primeros 30 metros de profundidad, ya que la capacidad de los tanques de buceo, por un lado, y razones de seguridad por el otro, limitan el tiempo de permanencia en el fondo.
Para solventar esas limitantes y aprovechando que el avance tecnológico ha disminuido los precios, adquirimos vehículos de operación remota con capacidad de bajar hasta 300 metros de profundidad.
Esto nos brinda la posibilidad de estudiar arrecifes de mayor profundidad y con ello responder a preguntas como las que nos ocupa en este trabajo sobre si los arrecifes mesofóticos pueden actuar como refugio ante fenómenos de blanqueamiento.
Para que los arrecifes mesofóticos puedan servir como refugio ante el blanqueamiento es necesario cumplir con ciertas condiciones. Una de ellas es que exista conectividad genética entre los arrecifes someros y los mesofóticos, de tal manera que el arrecife mesofótico provea propágulos para reponer las poblaciones afectadas por el blanqueamiento. En el Pacífico mexicano hemos realizado estudios aplicando técnicas de ADN ambiental y aunque encontramos similitudes en las especies presentes en ambas profundidades, los resultados no son concluyentes: hay especies que solo se encuen -


tran en la zona somera y otros en la profunda, pero alrededor de una tercera parte es compartida.
En el mismo sentido, cuando analizamos la estructura taxonómica y funcional de peces en localidades como el archipiélago Espíritu Santo en Baja California Sur, encontramos que hay mayor número de individuos en la zona somera, pero mayor biomasa en el fondo.
Esto se explica porque los peces pequeños están arriba, mientras que los grandes, como los tiburones, están en el fondo. Es interesante que hay mayor riqueza funcional en la zona profunda, lo que la haría más resiliente a perturbaciones y también hay un 60 por ciento de sobreposición de funciones, por lo que, al menos parcialmente, la zona profunda podría ser refugio ante perturbaciones.
El problema del blanqueamiento de corales es complejo porque no nada más se debe a las aguas calientes que están en la superficie, sino también a las aguas frías que vienen de abajo. El calentamiento del océano es una consecuencia del cambio climático derivado de la concentración de los gases de efecto invernadero y afecta de manera directa a
las capas más superficiales del océano.
Sin embargo, en 2008, durante un evento de La Niña, más del 90 por ciento de los corales de Islas Marietas se blanquearon debido a que la temperatura del agua fue 8 oC más fría de lo normal. Más recientemente, en enero de 2023, se registró un blanqueamiento del 70 por ciento a más de 30 metros de profundidad en el atolón de Clipperton. Al parecer, el blanqueamiento se debió a una termoclina (capa de agua en la que la temperatura cambia de manera rápida con la profundidad) anómalamente somera y la intensificación de los vientos del Este provocados por la variabilidad decadal del Pacífico.
En el océano Índico, específicamente en el archipiélago de Chagos, en noviembre de 2019 ocurrieron blanqueamientos hasta 90 metros de profundidad, pero curiosamente no hubo blanqueamiento a menos de 30 metros. Al parecer, lo que sucedió fue que la termoclina, se hundió más de lo habitual debido al dipolo del Océano Índico (DOI). El DOI es un ciclo interanual clave que opera en periodicidades de tres a siete años y modula los campos
Foto: archivo Conanp
de viento superficiales las corrientes oceánicas y la profundidad de la termoclina en el Océano Índico de manera similar a lo que sucede en el Pacífico con la oscilación sureña de El Niño.
Al hundirse la termoclina muchísmo más de lo normal (< 30 m) los corales que viven a mayor profundidad sufrieron temperaturas de 22 oC que causaron su blanqueamiento. Esa respuesta subsuperfical es totalmente distinta al indicador usual de blanqueamiento, que depende exclusivamente de la temperatura superficial del mar. Por eso el sistema de vigilancia de blanqueamiento de corales (Coral Reef Watch) de la agencia nacional del océano y de la atmósfera de los Estados Unidos (NOAA) no detectó el blanqueamiento. Sucedió el “blanqueamiento perfecto”, pues coincidieron la fase postiva del DOI más fuerte de la que se tenga re -
Para saber más:
gistro que causó vientos del este en el océano Índico oriental y central y corrientes sostenidas hacia el oeste sobre la capa de mezcla.
El corolario es que si aunado a los estresores causados por actividades antropogénicas y el cambio climático coinciden fenómenos como El Niño o el DOI, ni siquiera los arrecifes mesofóticos estarán exentos del blanqueamiento.
En conclusión, si bien es cierto que los ambientes costeros como la zona intermareal y los arrecifes rocosos y coralinos están expuestos a eventos naturales como las mareas, tormentas, huracanes y ciclones y actividades humanas como la pesca, turismo y contaminación, los arrecifes mesofóticos no están exentos de estos riesgos y hay evidencia de fenómenos de blanqueamiento. Por tanto, la hipótesis del refugio profundo debe tomarse con reservas.
https://www.flipsnack.com/8D6766CC5A8/scme-febrero-2023/ full-view.html
https://www.biodiversidad.gob.mx/ecosistemas/arrecifes https://simar.conabio.gob.mx/arrecifesam/ https://coralreefwatch.noaa.gov/ https://www.gob.mx/conagua/articulos/corales-guardianessubmarinos?idiom=es
Óscar Ubisha Hernández Almeida, Gonzalo Pérez Lozano, Mauricio Cortés Hernández, María Moreno Alcántara y Jorge Antonio Castrejón Pineda
CINVESTAV-IPN, Unidad Mérida
Correo-e: ubisha78@hotmail.com
E l parque nacional zona marina Isla Isabel, es un área natural protegida que se ubica al sur del golfo de California en el estado de Nayarit. Alberga ecosistemas únicos, como zonas de bajos, mantos de rodolitos y arrecifes rocosos y coralinos.
Como todos los ecosistemas marinos, enfrenta una variedad creciente de amenazas, siendo una de las más preocupantes la pérdida de biodiversidad. El fenómeno climático de El Niño, que se caracteriza por un aumento inusual de la temperatura superficial del mar, es uno de los factores que impactan negativamente la biodiversidad marina.
Entre 2015 y 2016, un intenso fenómeno de El Niño, apodado ‘Godzilla’, causó la pérdida de alrededor del 90 por ciento de la cobertura coralina en Isla Isabel.
En 2022, ante el pronóstico de un nuevo evento de El Niño para el verano de 2023 e invierno de 2024, nos propusimos estudiar el efecto de estas condiciones extremas de temperatura sobre los corales locales.
Para ello, seleccionamos un sitio a 12 metros de profundidad, donde ya se habían establecido viveros de coral.
Entre abril de 2023 y febrero de 2024, realizamos el seguimiento de un vivero con 15 colonias de coral de seis años de crecimiento y, para obtener un registro preciso de las condiciones del agua, medimos su temperatura cada dos minutos.
Durante seis meses, entre mayo y noviembre, los corales de Isla Isabel sufrieron temperaturas promedio superiores a 29 °C (ver gráfica), por encima


Figura 1. Variación de la temperatura del agua en Isla Isabel, Nayarit, entre abril de 2023 y febrero de 2024. La líneas moradas, punteadas, representan el umbral de estrés térmico para los corales
del límite en donde comienzan a tener daños.
Destacamos que en septiembre llegamos a medir hasta 32 °C en el agua, lo cual es muy superior del umbral de 28 °C que se considera crítico para el bienestar de los corales. En la secuencia fotográfica podrás observar los cambios que sufrieron los corales. En abril (Fig. 2A) la coloración del coral fue normal, es decir, sin estrés. En agosto (Fig. 2B) se observa claramente que las 15 colonias de corales comenzaron a perder su color, lo cual fue un signo de estrés por alta temperatura. En septiembre (Fig. 2C) el blanqueamiento del coral fue total.
Afortunadamente, los corales mostraron una gran resi -
liencia y para noviembre (Fig. 2D), las 15 colonias comenzaron a adquirir una tonalidad parda, sobre todo en la base de las colonias, lo cual fue un indicio de la recuperación. A pesar de lo anterior, el daño ya estaba hecho: en febrero (Fig. 2E) observamos que solo cinco de las colonias de coral sobrevivieron, lo cual representó la muerte del 67 por ciento de ellas.
A pesar de la devastación causada por El Niño, los corales de la Isla Isabel demostraron una mayor resiliencia que los corales de otras partes del Pacífico y del Golfo de México. Esto podría deberse a que las condiciones en las que se han desarrollado, es decir, su historia evolutiva, les han per-
mitido hacer frente a este tipo de fenómenos extremos. El blanqueamiento y la muerte de corales en la Isla Isabel, así como en otros arrecifes del Pacífico y del Golfo de México, reflejan los desafíos críticos que enfrentan los ecosistemas marinos. Estos eventos extremos subrayan la urgente necesidad de tomar medidas para proteger los arrecifes de coral, que son fundamentales tanto para la biodiversidad marina como para las comunidades costeras que dependen de ellos. Además, nos invita a reflexionar sobre la importancia de que la sociedad y la comunidad científica trabajen juntas para proteger estos hábitats vitales.

El blanqueamiento y la muerte de corales en la Isla Isabel, así como en otros arrecifes del Pacífico y del Golfo de México, reflejan los desafíos críticos que enfrentan los ecosistemas marinos.



Seguimiento de los efectos de El Niño 2023-2024 en los corales de la Isla Isabel, Nayarit. La secuencia muestra las colonias de coral en distintas fechas: A (25 de abril), B (8 de agosto), C (27 de septiembre), D (16 de noviembre de 2023) y E (7 de febrero de 2024)


María del Carmen García-Rivas, Octavio Granados González, Enrique Gallegos-Aguilar, Luis Ramos y Erika Hernández Ortiz Correo-e: mcgarcia@conanp.gob.mx
E l parque nacional Arrecife de Puerto Morelos se encuentra al norte de Quintana Roo con una superficie de 9 mil 066 hectáreas, forma parte del Sistema Arrecifal Mesoamericano. Este parque contiene el parche de coral cuerno de alce, Acropora palmata, más grande del sistema. Este parque, al igual que todos los arrecifes del Caribe, está afectado por el desarrollo costero, el mal manejo de aguas residuales y las enfermedades de los corales.
Como consecuencia, en 2022 hubo una devastación de colonias de corales her -
mátipicos por la enfermedad de pérdida de tejido en corales duros (SCTLD por sus siglas en inglés). Para restaurar el arrecife coralino en el parque se han instalado viveros de coral en sitios donde la luz y nutrientes permiten un crecimiento más rápido y seguro que en la barrera arrecifal, dichos fragmentos, al crecer en colonias, se podan para sembrar en sitios que han perdido coral.
Conforme a las predicciones para el año 2023 de alta temperatura marina y la probabilidad de blanqueamiento en los arrecifes de coral, el

Sitios detectados con mortandad del 100 por ciento de colonias de coral Acropora palmata tras revisión de guardaparques y brigadistas en el Parque Nacional Arrecife de Puerto Morelos, noviembre 2023
personal del parque modificó su protocolo de supervisión de corales. Desde junio de ese año, integró en sus recorridos diarios de supervisión a nado la detección visual del evento de blanqueamiento. En estos recorridos se registró fecha, localidad, especie y profundidad. El blanqueamiento se registró desde el día 19 de julio, para el día 22 de julio se identificaron colonias blanqueadas a lo largo de toda la laguna arrecifal afectando también a nuestros viveros de coral.
Las especies más afectadas fueron: Millepora alcicor-
nis, Millepora complanata, Orbicella ssp., Agaricia ssp., Porites porites, Acropora cervicornis, Acropora palmata y Acropora prolifera.
Se observaron temperaturas de un grado con relación a años anteriores, registrando temperaturas entre 30 °C y 31 °C desde junio y alcanzando temperaturas hasta 33.6 °C. Entre el 12 y el 21 de agosto se presentó mortandad de más del 75 por ciento de colonias de Acropora palmata y cervicornis, así como de Millepora alcicornis y c omplanata. Desde su creación, en el año 1998, el parque ha teni -



do una participación ciudadana activa a través de las reuniones del Consejo Asesor que tomó decisiones alrededor del blanqueamiento de coral. Para disminuir el estrés en el arrecife, los integrantes del Consejo Asesor propusieron dejar libre de visitantes al parque los días lunes de cada
semana, si bien no es la solución para el blanqueamiento, ayudó a sensibilizar a la comunidad sobre las afectaciones en el arrecife.
Por su parte los brigadistas de atención al arrecife el 26 y 27 de julio trasladaron 400 colonias ya blanqueadas de los viveros de coral de zonas
Manta informativa sobre la situación del coral. Se imprimió para instalarse en el muelle. A solicitud del gobierno municipal y estatal se retiró. Septiembre 2023
someras a un lugar más profundo con menos luminosidad y con más corrientes. Desgraciadamente, para diciembre solo 50 colonias sobrevivieron por lo que se concluyó que para próximas veces los traslados se deben hacer previo a que las colonias palidezcan.
Brigadistas y guardaparques trasladando el vivero de coral a zona más profunda con menor luz y temperatura
Se identificó que las unidades arrecifales del parque –llamadas Limones y Jardines– presentaron colonias sobrevivientes tal vez siendo sitios con mayor recambio de agua en la laguna, así como de tal vez tener colonias más resilientes.
Se concluye que es el evento de blanqueamiento de coral del 2023 ha sido el más severo registrado en el parque y se recomienda implementar de manera urgente acciones locales de adaptación y mitigación al cambio climático en los Programas de Ordenamiento Ecológico Local (POEL) y Programas de Desarrollo Urbano (PDU).

Pedro Medina Rosas y Antonella Lavorato Universidad de Guadalajara, Centro Universitario de la Costa, Puerto Vallarta, Jalisco Correo-e: pedromedinarosas@gmail.com
E l término “coral” agrupa miles de especies, y hay varios tipos, como los que construyen arrecifes, de los cuales ya se habló en este número, y otros más, de los que algunos incluso pueden vivir en aguas muy profundas, sin luz o en aguas muy frías, como en los polos.
Existen unos que se conocen como corales negros, del grupo de los antipatarios, que incluyen varias especies que tienen un esqueleto oscuro, de ahí su nombre. Actualmente existen más de 200 especies en este grupo, y casi la cuarta parte fue descrita en los últimos años, todavía hay mucho por estudiar sobre los corales negros.
Los antipatarios pueden vivir en aguas someras, donde pueden ser vistos por los buzos recreativos, pero generalmente viven en aguas profundas, a partir de los 100 metros de profundidad con poblaciones grandes entre los 4 y 8 mil metros de profundidad, e incluso se han encontrado corales negros viviendo hasta casi 9 mil metros de profundidad. Esta característica ha hecho que su estudio sea complicado, porque muestrear con equipo de buceo convencional implica más riesgo y menos tiempo a esas profundidades. Pero aun así, en México se han realizado estudios utilizando equipo de buceo técnico que permite bajar a profundidades donde se encuentran estos corales, y también con vehículos operados remotamente (ROV por sus siglas en inglés).
Los corales negros aparentan ser plantas por su forma de crecimiento como arbustos, pero son animales coloniales con un crecimiento len -
to, que pueden llegar a crecer hasta 2 metros de altura. Esta forma de crecimiento les da la capacidad de formar agrupaciones que se conocen como bosque. Crecer juntas varias colonias en altas concentraciones les da una relevancia ecológica ya que pueden crear hábitats que pueden albergar diversas especies.
Algunos de estos sitios son zonas con alta diversidad, no solo de peces sino también de invertebrados.
Aunque carecen de los simbiontes que habitan en los corales arrecifales, debido a los efectos del cambio climático, también han sufrido morta -

El coral negro Antipathes galapagensis tiene una coloración verde y amarilla, y sus concentraciones son tan grandes que forman bosques en el Pacífico mexicano
lidades significativas. En algunos lugares las anomalías de la temperatura del agua no solo es superficial, a más de 50 metros de profundidad puede haber cambios de más de 10 grados centígrados en un periodo corto de unos días. Hace algunas décadas los corales negros se explotaban comercialmente para venderlos como joyería, donde eran obtenidos del fondo marino para solo aprovechar una parte, principalmente su base más gruesa.
Algunos también se vendían como ejemplares completos debido a su gran belleza. Actualmente las poblaciones del Caribe y Pacífico
son tan pequeñas o con tamaños mínimos que esta industria ya no es rentable. En el Pacífico mexicano habitan dos especies de corales negros: Myriopathes panamensis, de coloración rojiza, y Antipathes galapagensis, de coloración verde y amarilla. La explotación de esta segunda especie fue tan intensa hace unos años que ahora está considerada como “amenazada” y tiene la protección del gobierno a través de la Norma Oficial Mexicana 059 (NOM-059-SEMARNAT-2010).
Se conoce tan poco de estos corales negros que hasta apenas recientemente se publicó información sobre el ci -



clo reproductivo de la especie Antipathes galapagensis en un estudio que se realizó en el golfo de California.
Ahora se sabe que para reproducirse este coral libera los gametos al agua y ahí se lleva a cabo la fertilización, hasta desarrollar una larva. Por primera vez se supo que las colonias son hermafroditas secuenciales, es decir, que pueden cambiar de sexo conforme pasa su tiempo de vida, primero pueden ser colonias masculinas y posteriormente femeninas, o viceversa. La reproducción se realiza durante el verano, ya que está asociada a la temperatura más cálida del agua. La madurez sexual está relacionada con el tamaño de las colonias, y deben crecer más de medio metro para reproducirse.
Esta información es relevante para los esfuerzos de conservación, porque ahora se conocen los patrones de reproducción y la dimensión que deben tener para poder completar la madurez, algo que se desconocía cuando se explotaba comercialmente.
Estos corales son de crecimiento lento, tienen una gran
mortalidad cuando son juveniles, y tardan varios años en lograr tener un tamaño para reproducirse, y se han visto afectados también por los cambios en las temperaturas del agua de mar, que incluso pueden afectarles a las profundidades en las que se desarrollan, por lo que encontrar sitios con colonias saludables y listas para completar su ciclo es de gran relevancia para su protección.
Los impactos por el cambio climático también pueden afectar a estos organismos, que a su vez pueden afectar a los organismos que viven asociados en sus hábitats. Debido a esta condición, se les considera ecosistemas marinos vulnerables.
A nivel internacional también tienen protección a través de CITES (Convención sobre el Comercio Internacional de Especies Amenazadas de Fauna y Flora Silvestres), ya que el orden Antipatharia, donde están incluidas las especies de coral negro, está incluido en el Apéndice II, un acuerdo internacional que protege las especies amenazadas con poblaciones que se
Las colonias del coral negro Myriopathes panamensis están formadas por pólipos diminutos y sirven de albergue para diversas especies
han visto muy reducidas, aunque no están en peligro de extinción, con una comercialización más restringida.
El grupo de corales negros ha tenido avances recientes gracias a los estudios donde se ha usado tecnología que permite llegar más profun -
El coral negro Myriopathes panamensis, tiene una coloración rojiza, y sus colonias pueden llegar a medir hasta 2 metros de altura
do y con análisis moleculares más precisos que han permitido describir nuevas especies en los últimos años, y descripciones de sitios nuevos donde se desarrollan.
Actualmente se realizan esfuerzos en varios sitios del Pacífico para monitorear y analizar los cambios en las abundancias y crecimiento de estos corales negros, y se ha visto que aunque hay sitios donde existen bosques con abundancias altas, hay otros sitios que no han mantenido su crecimiento y la mortalidad ha sido alta.
Es importante dar seguimiento a los estudios sobre estos organismos y hábitats, a través de nuevas tecnologías y técnicas de muestreo y buceo, para mejorar el entendimiento y relevancia ecológica que tienen los bosques de coral negro de México.

Amílcar Leví Cupul Magaña, Enrique Godínez Domínguez y Alma Paola Rodríguez Troncoso
Centro Universitario de la Costa, Universidad de Guadalajara
Correo-e: amilcar.cupul@gmail.com
El Pacífico central mexicano es una región con una presencia importante de arrecifes y comunidades coralinas, distribuidas en su mayoría en islas que cuentan con un estatus de protección especial como la reserva de la biosfera Archipiélago Islas Marías, el parque nacional Isla Isabel y el parque nacional Islas Marietas frente a las costas del estado de Nayarit, así como el santuario de las islas de la Bahía de Chamela, al sur de Jalisco.
Asimismo, podemos destacar sitios costeros con importante cobertura de coral con son playa Mora en bahía Tenacatita y bahía de Cuastecomates a punta Melaque en la costa sur de Jalisco, así como Carrizales y bahía de Santiago, en Colima.
La importancia de los arrecifes de coral radica en que son zonas de reproducción, crianza y alimentación para muchas especies de invertebrados y vertebrados marinos los cuales dependen de mane -

ra directa o indirecta de la presencia de corales sanos.
Efecto de blanqueamiento y mortandad masiva provocada por eventos de temperatura anómala. Izq. Blanqueamiento masivo en el Parque Nacional Islas Marietas. Der. Sup. Mortandad parcial. Der. Inf. Mortandad total de la colonia de coral

Estos ecosistemas t ambién proveen servicios ambientales a las poblaciones cercanas, un claro ejemplo es la actividad de pesca ribereña en el parque nacional Isla Isabel, así como las visitas turísticas en el parque nacional Islas Marietas, la bahía Cuastecomates y Carrizales, generando una derrama económica de millones de pesos al año.
Los arrecifes de coral son relevantes desde el punto de
vista científico, porque son considerados un excelente indicador del impacto del cambio climático.
Los corales se han denominado como el termómetro del planeta, ya que cambios o eventos anómalos asociados principalmente a la temperatura superficial del mar provoca los eventos conocidos como blanqueamiento.
Se tiene un amplio conocimiento de que eventos como El Niño, el cual provoca condiciones de altas temperaturas




por arriba de los rangos normales y La Niña, la cual disminuye drásticamente la temperatura del mar.
Ambos pueden fluctuar en su intensidad y frecuencia, pero además influyen en las zonas afectadas por periodos desde días hasta semanas. Su efecto se refleja en los eventos de blanqueamiento, los cuales pueden derivarse a mortandades locales o masivas llevando a una pérdida no solo de los corales, sino de todos sus organismos asociados.
Si bien el reciente evento de blanqueamiento y pérdida de arrecifes durante 2023 provocó una alarma a nivel mundial, a lo largo del Pacífico central mexicano se han registrado previamente eventos de blanqueamiento, los cuales han afectado con diferente severidad distintas localidades en la región.
Los primeros registros de mortandad masiva en la historia reciente, se asocian al evento de El Niño de 198283, el cual provocó una mortandad importante de corales, pero no se cuentan con datos que permitan cuantificar su intensidad. Posteriormente, los arrecifes de coral sufrieron el efecto del evento El Niño 1997-98, durante el cual se registraron incrementos en la temperatura superficial del mar ≈1.5 °C por arriba del promedio, causando a lo largo de casi 200 kilómetros de costa desde Carelleros-Punta de Mita, Islas Marietas hasta Cabo Corrientes, Jalisco un blanquea -
miento masivo de cerca del 95 por ciento de la cobertura de coral en la bahía y, dado el tiempo prolongado (semanas) que duró dicho evento, causó una mortandad masiva de casi la totalidad de los arrecifes.
Seis años más tarde, en 2004, se registró un evento de estrés térmico el cual no afectó equitativamente a toda la región, ya que los efectos fueron un bajo blanqueamiento y mortandad parcial principalmente en los arrecifes someros del parque nacional Isla Isabel.

Algunos corales en el Pacífico central mexicano, a pesar de sufrir el blanqueamiento por altas temperaturas, lograron recuperarse por completo. Los sitios que presentaron las menores pérdidas y por su resistencia se les denomina “arrecifes de esperanza”
Posteriormente, durante 2010-2011 se registró el primer evento de blanqueamiento por frío, asociado a un evento La Niña, el cual, contrario a El Niño, llevó a una drástica disminución en la temperatura del agua hasta ≈ 3 °C, causando un evento de blanqueamiento coralino en la región, pero con una mortandad de menos del 1 por ciento de los corales en Islas Marietas, pero una mayor afectación de ≈15 por ciento de los corales en Isla Isabel.
Solamente tres años más adelante, desde el verano del
2014 hasta el 2016, se presentó otro evento El Niño, el cual debido no solo a su intensidad, sino al prolongado tiempo que afectó se le denominó El Niño “Godzila” Los efectos de este evento fueron progresivos, teniendo el primer impacto en los arrecifes de Isla Isabel, a finales del 2014, y llevando a una mortandad de casi el 85 por ciento de su cobertura coralina en menos de dos meses. No fue sino hasta los primeros meses del 2015, que este evento fue oficialmente reconocido, provocando blan -

queamiento de coral desde la reserva de la biosfera Islas Marías hasta bahía Carrizales en Colima. El sitio más afectado por este fenómeno se encuentra dentro de la reserva de la biosfera Islas Marías, la isla María Cleofas, en la cual se perdió cerca del 91 por ciento de su cobertura de coral.
Durante este mismo periodo, en el parque nacional Islas Marietas se registraba un blanqueamiento de alrededor del 70 por ciento el cual para el 2016 resultó solo en una pérdida del 2 por ciento de su coberutra.
A pesar del devastador impacto que tuvieron estos eventos durante casi cuatro décadas, los datos muestran que posterior a un evento de blanqueamiento y mortandad, la mayoría de los sitios ha tenido la capacidad de recuperarse de manera natural, y en algunos, se han implementado medidas de restauración asistida, con el fin de incentivar este proceso de recuperación del sistema.
Sin embargo, esto no es una generalidad, ya que sitios en los que, además de los eventos de anomalías térmicas, estuvieron sujetos a un alto impacto de actividad humana como fue arrecife de Carrelleros que nunca se logró recuperar.
La cronología de los eventos de blanqueamiento nos lleva a 2023, durante el cual desde los primeros meses diversas agencias internacionales anunciaban la alta probabilidad de la ocurrencia de un nuevo evento de El Niño, el cual se desarrolló rápidamente, cambiando las condiciones térmicas de toda la región del Océano Pacífico tropical oriental.


Este fue un año extraordinario en los valores de temperatura de la superficie del mar, con incrementos de la temperatura desde 1-2.5 °C por arriba del promedio, por lo que se le ha considerado como el evento más intenso de las últimas décadas.
Conforme avanzaba el año y se desarrollaba El Niño, también iniciaron los reportes de blanqueamiento en varias localidades del sur del país, así como a lo largo del Pacífico tropical oriental con sus primeros reportes desde el mes de mayo, el cual alcanzó al Pacífico central mexicano en el mes de julio con registros de blanqueamiento en el parque nacional Isla Isabel y hasta la última semana de agosto y principios de septiembre que se observó este efecto en el parque nacional Islas Marietas, así como a lo largo de la costa de sur de Jalisco como en bahía de Chamela y Cuastecomates y Carrizales, en Colima. La intensidad del evento, así como su duración de más de 19 semanas, llevó a que en octubre se registrara una
( Doriprismatica sedna )
Isla Isabel, Nayarit
Foto: Alicia Hermosillo González/Conabio
mortandad masiva de corales en toda la región, particularmente en el parque nacional Islas Marietas. Para el mes de noviembre, la temperatura superficial del mar comenzó a descender y la mortandad aparentemente había cesado.
Para finales de año se determinó que el parque nacional Islas Marietas había tenido una pérdida total del 83 por ciento de su cobertura de coral y Cuastecomates del 53 por ciento.
Los datos muestran que los corales más afectados y que presentaron las primeras evidencias tanto de blanqueamiento como mortandad, fueron los conocidos como submasivos o incrustantes como el género Porites el cual tuvo una supervivencia de menos del 1 por ciento y Pavona con una presencia actual del 3 por ciento, siendo el coral ramificado del género Pocillopora el que no solo resitió durante más tiempo el blanqueamiento, sino además, sobrevivió.
Este patrón fue similar a lo largo de la región, sin embar-
go se cuenta con evidencia de algunos sitios con la presencia de las mismas especies de coral que aunque se blanquearon, tuvieron una pérdida solamente del 3 por ciento en su cobertura. A estos sitios se les ha denominado actualmente como los arrecifes de esperanza. El pronóstico indica que, por efecto del cambio climático, los eventos tanto de El Niño como La Niña continuarán incrementando su intensidad y su frecuencia. Los pronósticos de hace 20 años indicaban que en las condiciones actuales, habríamos perdido en su total los arrecifes de coral. Sin embargo, ellos están luchando y buscando la manera de sobrevivir, a pesar de las condiciones no favorables, muchas de ellas, asociadas a la actividad humana. Pero el poco tiempo que tienen estos organismos tan complejos para recuperarse de un evento a otro, genera un escenario preocupante y de incertidumbre por su permanencia futura.

Alma Paola Rodríguez Troncoso1, Amílcar Leví Cupul Magaña1 y J. J. Adolfo Tortolero Langarica 2,3
1Laboratorio de Ecología Marina, Centro de Investigaciones
Costeras, Centro Universitario de la Costa, UdeG
2Laboratorio de Esclerocronología de Corales Arrecifales, Unidad Académica de Sistemas Arrecifales, ICMyL-UNAM
3Tecnológico Nacional de México/IT de Bahía de Banderas
Correos-e: alma.rtroncoso@academicos.udg.mx, levi.cupul@academicos.udg.mx y adolfo.tl@bahia.tecnm.mx
cciones urgentes de restauración ante la pérdida de los arrecifes de coral
L os arrecifes de coral son considerados uno de los ecosistemas marinos más importantes en el mundo. Aunque ocupan menos el 1 por ciento del oceáno poseen un enorme valor biológico, ya que son zonas naturales que brindan alimento, y proveen sitios para reproducción y refugio a millones de especies marinas.
Además, le proveen a la población humana importantes servicios ecosistémicos tales como de provisión alimentaria derivado de la pesquería ribereña y, al formar estructuras duras, mitigan el impacto de los huracanes y tormentas, reduciendo los daños a la infraestructura y servicios urbanos. Igualmente, un arrecife sano promueve la recreación y
esparcimiento, ya que actualmente millones de personas visitan y disfrutan de su belleza escénica. La relevancia de los servicios que nos proveen se refleja en su valuación económica, la cual está estimada en alrededor de 10 billones de pesos anuales.
Pese su importancia, los arrecifes de coral de todo el mundo se están perdiendo a una velocidad alarmante. Las estimaciones muestran que se han perdido al menos el 50 por ciento de estos ecosistemas y aquellos que se mantienen, están considerados como altamente vulnerables.
Su pérdida está directamente relacionada con la presión generada por las actividades humanas, como son la emisión de dióxido de carbono, la sobreexplotación
Evidencia de blanqueamiento y mortandad coralina registradas en el parque nacional Isla Isabel, en el Pacífico central mexicano

de los recursos marinos y la contaminación.
A esto se le suman efectos del cambio climático como el aumento persistente de la temperatura global de +0.7 °C al año, el incremento en la intensidad y frecuencia de huracanes y tormentas, así como los eventos de olas de calor regionales como El Niño Oscilación del Sur (ENOS), lo cual provoca inicialmente los eventos conocidos como blanqueamiento coralino y, dependiendo de su intensidad, puede llevar a la mortandad de zonas arrecifales enteras.
En las últimas cuatro décadas se han registrado varios eventos de mortandad masiva; particularmente las altas temperaturas registradas durante el evento El Niño 2023-2024, provocaron lo que
hasta el momento se ha definido como la cuarta mortandad masiva más importante en la historia de los arrecifes coralinos.
Esto se refleja en que hace 40 años se contaba con una abundancia coral vivo a nivel mundial que abarcaba una superficie de hasta 600 mil km2 ; la realidad es que ésta se ha reducido con rapidez llegando actualmente a menos de 200,mil km2
En respuesta a esta problemática, en la última década las instituciones gubernamentales, las no gubernamentales, la academia y las comunidades locales han buscado implementar estrategias que ayuden a la conservación y mantenimiento de los arrecifes, especialmente, en aquellos sitios que, a pesar de las


condiciones adversas, han mostrado señales de fortaleza, supervivencia y esperanza.
En un contexto internacional, ante esta situación, la Organización de las Naciones Unidas (ONU), ha declarado el periodo 2021-2030 como la década de la restauración de ecosistemas como un llamado global de acción urgente con la finalidad de proteger, conservar y recuperar los ecosistemas.
Bajo este contexto se han desarrollado diversas estrategias de conservación y herramientas de restauración de arrecifes de coral las cuales son acciones implementadas por los humanos (en su mayoría intervenciones locales), que buscan conservar los arrecifes de coral.
Las estrategias de restauración clasifican como acciones pasivas a aquellas que están centradas en la gestión e implementación de estrategias de mitigación que permitan el uso sostenible de los recursos que albergan los arrecifes coralinos.
En México, diferentes zonas arrecifales que se encuentran bajo protección gubernamental al ser decretadas áreas naturales protegidas (ANP).
Asimismo, se han desarrollado otros modelos como la resiliencia basada en el mane -
jo (RBM, resilience based management, por sus siglas en inglés), el cual puede ser aplicado en sitios que no cuentan con un estatus de protección especial ya que está diseñado para conectar la rehabilitación del ecosistema con las necesidades sociales de los pobladores locales, promoviendo la apropiación social y educación ambiental como factores clave en el éxito del programa de restauración.
Por otro lado, las técnicas de restauración activa o intervención asistida se aplican con el objetivo de ayudar a acelerar los procesos de recuperación natural. Una de las estrategias de restauración más utilizado es el transplante o translocación de corales, la cual se basa en obtener pequeños fragmentos (microfragmentos) de coral a partir de colonias más grandes , o incluso corales fragmentados naturalmente por oleaje o marejadas, que posteriormente son plantados en un sustrato natural como puede ser roca o base arrecifal muerta.
Dentro de esta estrategia se puede incluir una fase de vivero, la cual implica la introducción de estructuras (rejillas de acero o PVC) en donde inicialmente se fijarán los fragmentos de coral, y se “cuidarán” hasta que cuenten con


Programa de intervención por traslocación directa.
Izquierda: arrecife sin presencia de corales y con sustrato disponible. Derecha: transplante directo de fragmentos de oportunidad
un tamaño adecuado para ser trasplantados.
Con el fin de incrementar el sustrato para fijación de corales, se pueden introducir estructuras o arrecifes artificiales, elaborados con diversos materiales y formas, los cuales además pueden ser diseñados para crear espacios de refugio para otras especies.
Recientemente se han desarrollado estrategias “emergentes” como es la evolución asistida, la cual se basa en el uso de herramientas moleculares para identificar los organismos con mayor resistencia y de ser posible, promover un mejoramiento genético producto de hibridación asistida; además, se ha incluido la ingeniería ecológica, la cual se basa en el uso de elementos e interacciones biológicas como estrategias para mitigar el estrés durante eventos de blanqueamiento, instalando equipamiento que disminuya las altas temperaturas bombeando agua profunda hacia la superficie, o controlar la intensidad de luz con el uso de sombreado o shading. El uso de las estrategias de intervención depende del sitio, su dinámica ecológica y los factores que amenazan su permanencia. Por lo que, no todas las herramientas pueden ser aplicadas indistinta -
mente, requiriendo investigaciones previas a implementar acciones de restauración.
A lo largo del Pacífico mexicano se han implementado intervenciones de restauración utilizando principalmente la propagación directa del coral Pocillopora, comúnmente conocido como coral coliflor, el cual es considerado el más abundante y el que tiene la mayor capacidad de recuperación posterior a disturbios.
Particularmente el programa de restauración en el parque nacional Islas Marietas inició en el año 2011 y hasta el 2023 se registró un éxito de supervivencia de corales planteados entre el 83-95 por ciento, los cuales no solo crecieron individualmente sino además recuperaron la cobertura total del sitio.
Como fruto de la restauración, los arrecifes intervenidos proveyeron espacio y recursos para otras especies como peces e invertebrados marinos. Mas aun, estas colonias plantadas han crecido lo suficiente para poderse reproducir, lo cual es considerado un logro relevante para el mantenimiento de la comunidad. Sin embargo, la llegada del evento El Niño 2023-24 provocó un cambio urgente de estrategia, ya que, como medida de mitigación ante el in -


minente blanqueamiento y mortandad coralina, se instalaron viveros que permitieran transportar corales de los 5 a los 18 metros de profundidad.
Esta estrategia de rescate llevó a la supervivencia del 100 por ciento de las colonias, por lo que, actualmente se está utilizando para mantener en resguardo a los fragmentos de coral los cuales serán próximamente traslocados a sitios con un alto nivel de daño.
Los avances en restauración en la región son prometedores; sin embargo, se debe de considerar que cualquier proyecto de rehabilitación coralina debe de ser planeado para ser implementado y monitoreado durante al menos 10 años, pensando no solo en la sostenibilidad, sino además en la escalabilidad en términos de espacio (km 2) y de número de localidades.
Por lo que estas iniciativas para México y países latinoamericanos tienen diferentes retos, siendo el primero, el encontrar el protocolo adecuado para cada sitio y, más importante, la factibilidad económica, ya que se requieren financiamientos entre 200 mil a 8 millones pesos por año.
Izquierda: monitoreo y medición de colonias. Abajo: incremento en la abundancia de coral, dos años después de la intervención.

Por todo ello, las diferentes instituciones académicas y gubernamentales, así como los miembros de la sociedad civil tenemos un gran reto en el compromiso de contribuir para el fortalecimiento de alianzas que ayuden la conservación y mantenimiento de los arrecifes coralinos y en general los recursos naturales, recordando que las acciones locales tienen siempre un impacto global.
Lecturas recomendadas:
Reef Resilience Network. Ecología de los arrecifes de coral. https:// reefresilience.org/es/coral-reef-ecology/#: :text=Los por ciento20arrecifes por ciento20de por ciento20coral por ciento20son,ref
Organización de las Naciones Unidas. Década de la restauración https://www.decadeonrestoration.org/es
National Geographic Socielty. Los arrecifes de coral se mueren: estos son los planes de los científicos para salvarlos.
https://www.nationalgeographic.es/ciencia/2020/06/los-arrecifesde-coral-se-mueren-planes-cientificos-para-salvarlos
Andrés López-Pérez1, Rebeca Granja-Fernández2, Omar Valencia-Méndez3, Eduardo Ramírez-Chávez4, Héctor Nava5 y J. Fernando Alvarado-Rodríguez5
1Universidad Autónoma Metropolitana, 2Universidad de Guadalajara, 3Centro de Investigación Científica y de Educación Superior de Ensenada, 4Universidad del Mar, 5Universidad Michoacana de San Nicolás de Hidalgo Correo-e: alopez@xanum.uam.mx

Bastaron menos de tres décadas, 27 años, para que los una vez fueron considerados los “arrecifes coralinos mejor desarrollados del Pacífico oriental”, experimentaran una mortalidad severa.
Hace relativamente pocos años, entre 1995 y 2012, un grupo de investigadores mexicanos y estadunidenses exploraron y dieron a conocer la presencia de ecosistemas arrecifales extensos y bien desarrollados en el sur del Pacífico mexicano, es decir en las bahías de Ixtapa-Zihuatanejo y Acapulco,Guerrero, y Puerto Escondido, Puerto Ángel y Huatulco, Oaxaca.
Pese a que ésta era la primera vez que se registraban, estos corales y arrecifes se desarrollaron en las aguas poco profundas y cálidas de esta región durante los últimos 7 mil años. Actualmente, tienen una extensión equivalente a poco menos de 150 canchas de fútbol –ordenadas una detrás de la otra– y una altura promedio de tres a cinco metros; es probable que su tamaño haya sido mucho mayor en la antigüedad.
Probablemente usted no conozca los arrecifes de coral de esta región, pero en su mente podría imaginar playas de arena blanca, vívidos colores, una gran riqueza marina y escenarios exuberantes.
La imagen no se aleja de la realidad, alrededor de 200 especies de peces, cerca de mil 500 especies de invertebrados y de todos estos varios miles de individuos de todos los tipos, formas, colores y tamaños pueden ser observados en algunos cientos de metros de cualquier arrecife ubicado en el Pacífico sur mexicano.
Para las personas que habitan en la costa, los arrecifes significan alimento, ingresos, servicios, turismo y una forma de vida. Con tristeza, ambas imágenes rápidamente deberán ser reemplazadas por otras menos alentadoras. Hoy, solo una pequeña porción del extenso arrecife que antes existió y de los servicios que un día proveyó, está luchando para seguir en pie.
La marcha hacia el “desarrollo”
El siglo pasado vio nacer dos ideas de desarrollo costero en México. En la primera, Acapulco, alguna vez considerado la joya del Pacífico mexicano, se erigió grandilocuente con carreteras, grandes hoteles y la llegada del turismo masivo. Entre las décadas de los años 60 y 90 del siglo pasado este desarrollo trajo para los ecosistemas coralinos, y otros, grandes cantidades de sedimentos que se depositaron encima de los corales, abundante actividad pesquera para satisfacer la creciente demanda de alimentos y la remoción de miles de organismos para su venta en el mercado de artesanías. La venta ilegal de grandes cabezas de coral y de sus organismos asociados acabó casi por completo con los arrecifes de Acapulco.
La segunda idea del gobierno mexicano para impulsar el desarrollo de infraestructura del país, el Fondo Nacional del Fomento al Turismo (Fonatur) ideó y desarrolló los centros integralmente planeados de Loreto, Los Cabos, Litubú y Costa Capomo, Playa Espíritu, Ixtapa-Zihuatanejo y Huatulco en el Pacífico mexicano, y Cancún en el Caribe.


sanos que conservan sus colores naturales y que varían entre distintas tonalidades de dorado, marrón y verde



Curiosamente, los centros turísticos, erigidos casi desde cero, se construyeron alrededor de ecosistemas arrecifales para atraer turistas nacionales y extranjeros. Aunque su diseño urbano tuvo una lógica distinta a la del puerto de Acapulco, los ecosistemas arrecifales aledaños han estado sujetos a las mismas presiones antrópicas: sedimentación y aporte de materia orgánica, contaminación, daños por uso turístico, pesca
y extracción de especies para el consumo humano y el mercado de artesanías.
Aunque en la actualidad, la extracción de individuos como “recuerdos turísticos” se ha visto reducida debido a la acción gubernamental en aeropuertos, el tráfico “hormiga” de corales, conchas, arena y rocas aún continua, aunque se desconoce la cantidad de material extraído y el impacto medioambiental generado.


Corales totalmente blanqueados durante la onda de calor de 2023. Durante el blanqueamiento, los corales expulsan las microalgas que les dan color, perdiendo en consecuencia la coloración de su tejido, volviéndose transparentes, lo cual permite ver el esqueleto blanco coralino
El ineludible ambiente
Corales con una parte viva de color marrón y con pedazos que comienzan a blanquearse. El blanqueamiento es una respuesta al estrés extremo ocasionado por las elevadas temperaturas del agua, como lo ocurrido en 2023 en el Pacífico sur mexicano, cuando alcanzó los 33°C
El título de una reciente película estadounidense Todo en todas partes al mismo tiempo (Everything Everywhere All at Once, Estados Unidos, 2022) resume de la mejor manera la forma en que los corales “sienten” lo que ocurre en su entorno. Desde que nace, la larva de un coral (similar a la forma de una sandía y cubierta de vellosidades, pero de no más de 0.5 mm de longitud), flota mientras viaja en la superficie del océano.
Ésta es capaz de sentir todo tipo de señales del medio que la rodea: qué tan cálida es el agua, a qué profundidad se encuentra, en qué dirección y velocidad está viajando y qué tan adecuado es el fondo del mar para que, una vez que está lista, se sujete y viva en él.
Aunque esta larva recibe señales físicas y químicas que
le permite elegir “el mejor lugar” para crecer hasta la adultez y formar un ecosistema de coral, una vez elegido, no hay marcha atrás ya que, toda su vida, decenas, cientos o miles de años, tendrá que vivir inmóvil en el mismo lugar y deberá lidiar con todo lo que pase a su alrededor.
No me ayudes compadre
Desde inicios de 2023, el sistema océano-atmósfera del hemisferio norte experimentó cambios que ocasionaron que el agua del océano se calentara más allá de lo que usualmente lo hace durante el verano, incluso usted mismo pudo sentirlo desde su hogar. El incremento fue tan fuerte que, desde mediados de mayo y durante 16 a 18 semanas, el agua en el sur del Pacífico mexicano experimentó temperaturas cerca de 3 °C


arriba al promedio en la zona y pese a que, pensamos que esta tendencia no se mantendría, aún a principios del 2024, se seguían registrando altas temperaturas.
Este aumento puede no ser fatal para los humanos, podemos movernos a lugares menos calurosos o contamos con sistemas de ventilación que nos permiten no percibir tanto calor, pero para los corales, arrecifes y la fauna que ahí habita sí puede ser fatal, ya que estaban siendo “cocinados a fuego lento” en aguas de cerca de 32 °C.
Por sí sola, esa temperatura y la duración de la onda cálida es suficiente para ocasionar que cientos o miles de
colonias de coral mueran. De manera natural, los corales del Pacífico sur mexicano viven ondas cálidas recurrentes durante el verano, de mayo a septiembre, pero no son suficientemente intensas como para causarles daño. Pese a esto, en la región se han detectado ondas cálidas anormales que han ocasionado mortalidad coralina en los años 1982-1983, 1997-1998, 2009-2010 y ahora en 2023. La onda cálida de 2023 mató cerca de 75 por ciento de las colonias de coral en toda la región, aunque en algunos sitios la mortalidad alcanzó el 95 por ciento.
Esta tendencia aún es observable en algunos sitios y

sin miras de recuperación. Esto no solo se observó en corales. La onda cálida ocasionó que los arrecifes asemejaran un páramo desierto durante varios meses ya que erizos, estrellas de mar, peces, gorgonias, abanicos de mar, esponjas y cangrejos se esfumaron del arrecife. Las especies que pudieron moverse lo hicieron hacia zonas profundas, el resto simplemente falleció. Entre tanta mortalidad, parece haber una ventana de esperanza. Existen, como dice el dicho, “negritos en el arroz”, ya que hay algunos sitios donde los corales, aunque se blanquearon, se encuentran rebosantes y llenos de vida.
La pregunta pertinente es aun cuando la onda cálida en 2023 fue muy fuerte, ¿por qué hay algunos sitios en donde los corales no murieron? La supervivencia tuvo que ver con la confluencia o la ausencia, de estresores antropogénicos que se sumaron a la onda cálida.
Aquellas zonas en donde los corales sobrevivieron son poco visitadas, no tienen acceso carretero y no cuentan con asentamientos humanos y turísticos semipermanentes con el vertimiento de desechos o el uso de aletas que continuamente golpean los corales causándoles un daño irreparable.
Corales y porciones de arrecife cubiertas con algas filamentosas verdes y rojas después de la muerte de los corales ocurrida durante el año 2023 en el Pacífico sur mexicano. Los visitantes no familiarizados con el estudio de los corales aun creían que eran corales vivos y sanos
Nos gustaría imaginar que el futuro para los ecosistemas de coral es prometedor en el Pacífico sur mexicano, sin embargo, no lo es. En el fu -
Lecturas recomendadas
turo que proyectamos hoy, el mundo y el país, pero sobre todo las comunidades locales perderían un ecosistema valioso para su subsistencia. Los científicos han detectado que a lo largo de la historia de la vida en la Tierra los arrecifes han estado expuestos a temperaturas mucho más cálidas, como ocurrió en el Oligoceno (hace 25 millones de años) o mucho más frías, como cuando el humano cruzó el estrecho de Bering durante el último glacial hace 12 mil-10 mil años.
A pesar de estas circunstancias, los arrecifes prosperaron. ¿Qué nos hace pensar que los ecosistemas arrecifales no regresarán para prosperar en nuestros mares? La única diferencia entre esos tiempos y ahora, tristemente es la presencia de los humanos y la manera en que usamos los ecosistemas y los recursos.
Cambios puntuales y relativamente pequeños en comportamiento por parte de visitantes y prestadores de servicios, el manejo eficiente de las áreas arrecifales y la aplicación de la ley por parte de las autoridades, seguramente lograrán que la frase centros integralmente planeados tenga el sentido con que fue concebido.
Como sociedad, en nuestras manos está que durante nuestras próximas vacaciones, nuestros hijos o nietos puedan maravillarse, así como usted alguna vez lo hizo, con la magnificencia de los arrecifes de coral.
Horta-Puga G, Victoria-Muguira M. 2023. “Blanqueamiento coralino en el sur del Golfo de México”. Revista Espacio Profundo, 183: 16-22. https://www.espacioprofundo.com.mx/ revistadigital/184/16/
López-Pérez RA. 2003. “Los corales. ¿Piedras, plantas o animales?” Ciencia Ergo Sum, 10: 115-118. https://www.redalyc.org/ pdf/104/10410114.pdf
López-Pérez A, Ramírez-Chávez E, Granja-Fernández R, RodríguezZaragoza FA & Antonio Pérez V. 2023. “Corales blancos, corales estresados: Huatulco, El Niño 2023”. Revista Espacio Profundo, 183: 33-36. https://www.espacioprofundo.com.mx/ revistadigital/183/35/ Valencia-Méndez O, Reyes-Bonilla H, López-Pérez A, CupulMagaña A, Granja-Fernández R, Rodríguez-Zaragoza F & AyalaBocos A. 2023. “El Niño amenaza con ser devastador en el Pacífico mexicano”. Revista Nexos. https://medioambiente. nexos.com.mx/el-nino-amenaza-con-ser-devastador-en-elpacifico-mexicano/

Lorenzo Álvarez-Filip
Laboratorio de Biodiversidad Arrecifal y Conservación, Instituto de Ciencias del Mar y Limnología, UNAM
Correo-e: lorenzo@cmarl.unam.mx
El coral cuerno de alce, o Acropora palmata, es el principal constructor de arrecifes en el Caribe. Sus rápidas tasas de crecimiento dan origen a frondosos paisajes submarinos que sirven de hábitat a una multitud de especies (imagen 1). Sin embargo, este coral ha tenido una historia marcada por severas disminuciones poblacionales producto de brotes de enfermedades y las presiones crecientes del desarrollo costero. Se estima que para finales de la década de 1990 se había perdido cerca de 90 por ciento de las colonias de este coral.
Desde entonces, acciones de conservación, acompañadas de esfuerzos de restauración lograron mantener, e incluso aumentar sutilmente las poblaciones de esta especie en diferentes localidades.
Un ejemplo icónico en México, son los arrecifes de Puerto Morelos en las costas de Quintana Roo, que nos muestran cómo debieron ser los grandes y extensos bosques submarinos del coral de cuerno de alce que alguna vez se extendieron a largo de los arrecifes someros del Caribe.
En esta área natural protegida, logramos registrar decenas de miles de colonias de este coral hace una década.
En la primavera de 2023, todo cambió. Comenzaba la ola de calor más prolongada e intensa que ha ocurrido desde que los humanos tenemos registro.
La temperatura del mar en Puerto Morelos y muchos otros lugares del Caribe mexicano empezaban a aumentar muy por encima de lo usual, y esto continuaría hasta finales de octubre.

En su punto máximo, a mediados de agosto, la temperatura del mar llegó a estar unos 4 °C por encima de lo normal (es decir la media histórica) de acuerdo con las mediciones de largo plazo de la Universidad Nacional Autónoma de México (UNAM) en Puerto Morelos.
Durante este evento de calor extremo, los arrecifes de Puerto Morelos y en general del Mar Caribe experimentaron un fenómeno de blanqueamiento generalizado, cambiando el colorido paisaje submarino asociado a los arrecifes tropicales, a un monótono paisaje blanquecino, propio montañas nevadas (imagen 2). El fenómeno conocido como blanqueamiento no es más que una señal de estrés en los corales, ya que
Corales cuerno de alce en el arrecife Limones, Puerto Morelos Foto tomada previo al evento de blanqueamiento de 2023. © Lorenzo Álvarez-Filip
refleja la ruptura de la relación con sus algas simbiontes que les aportan un alto porcentaje de sus requerimientos energéticos, pero también les dan las diferentes tonalidades de color que los caracterizan. La ausencia de los simbiontes deja ver los blancos esqueletos de carbonato calcio a través del tejido transparente del coral.
Nuestros datos preliminares arrojan que en Puerto Morelos y en gran parte del Caribe mexicano entre el 70 y 95 por ciento de los corales constructores de arrecife se blanqueó durante la ola de calor de 2023.
Además, los efectos adversos de la temperatura también se vieron reflejados en otros grupos de invertebrados simbióticos como cora -
les blandos, esponjas y anemonas.
Es muy probable que el intenso y prolongado periodo de calor también haya afectado a muchos otros organismos como peces, crustáceos y moluscos, ya que la temperatura es un controlador importante de sus actividades metabólicas.
Cuando el estrés sobre un organismo es prolongado, termina en la muerte, y cuando el estrés ocurre en extensas escalas espaciales se generan lo que conocemos como eventos de mortandad masiva. Y esto es precisamente lo que registramos a lo largo del estado de Quintana Roo y en otros países de la cuenca del Caribe. Los corales blanqueados comenzaron a morir rápidamente. Los efectos fueron particu -
larmente severos en los corales cuernos de alce. En Puerto Morelos, vimos y documentamos como miles de colonias de este coral murieron entre agosto y septiembre de 2023.
Nuestros datos preliminares muestran un escenario lúgubre con arrecifes, como aquellos justo frente al poblado de Puerto Morelos, experimentando pérdidas del 100 por ciento de sus corales cuerno de alce (imagen 3). Una mortandad coralina que ocurría a lo largo de kilómetros de arrecife.
Otros grupos coralinos, tal vez menos emblemáticos también sufrieron drásticas pérdidas. Tal es el caso de los corales de fuego ( Millepora spp.) y lechuga ( Agaricia tenuifolia), para los cuales estimamos una pérdida superior a 90 por ciento en los arrecifes someros (1-3 metros de profundidad) en la franja del Caribe mexicano.
Los esqueletos de todos estos corales que murieron están degradándose, y poco a poco perdiendo su integridad estructural que brinda importantes servicios como el hábitat a otras especies y la protección de la costa de la energía del oleaje (imagen 4).
Los impactos de estos procesos de degradación de los esqueletos coralinos solo serán evidentes dentro de varios años, cuando las estructuras calcáreas se hayan erosionado. Pero seguramente afectarán a otras especies que dependen de las formaciones coralinas para refugiarse, alimentarse y reproducirse.
Pero también, ciertamente repercutirán en los servicios que lo humanos recibimos de las barreras arrecifales, tales como la protección coste -


ra y la producción de recursos pesqueros. Otras especies de coral mostraron una mayor resiliencia. Ejemplos son los corales cerebro o los corales de montaña (Orbicella spp ; imagen 2). Especies que en muchas ocasiones mostraron una recuperación gradual (recoloración) una vez que el estrés disminuyó; los efectos a mediano plazo sobre estos corales aún están por verse. Ya que después de un evento de estrés intenso, la actividad fisiológica de los organismos, por ejemplo, en términos crecimiento y reproducción, se pueden ver seriamente comprometida.
Corales montaña (Orbicella faveolata ) y corales blandos blanqueados en el arrecife La Bocana, Puerto Morelos
Foto tomada en agosto de 2023. © Lorenzo Álvarez-Filip
Y al igual que los humanos, después de ser sometidos a situaciones de mucho estrés, es probable que estos corales necesiten largos periodos de tiempo, meses o incluso años, en condiciones ambientales estables para poder recuperarse por completo.
La gran pregunta y reto que enfrentamos es si seremos capaces de proveer estos periodos de relativa estabilidad a los sistemas marinos que permitan la recuperación biológica y ecológica de los corales y sistemas arrecifales.
La realidad es que los pronósticos no son alentadores, las tendencias de calentamiento global, y sobre todo
de olas de calor, van en aumento. Esto nos indica que es probable que los eventos de blanqueamiento y mortalidad que documentamos en 2023 puedan repetirse a intervalos cada vez más cortos, incluso llegando a ocurrir en años consecutivos. Si este fuera el caso, el estrés operaría de manera permanente, afectando severamente incluso a los corales más resistentes.
Concluyo estas líneas con una reflexión personal. Muchos de los corales que me tocó ver morir formaban parte de mis investigaciones, de programas de monitoreo, de acciones de restauración, e


incluso eran referente turístico para prestadores de servicios y visitantes del arrecife. Por lo que no exagero al decir que estos corales eran parte de nuestra vida. El ver morir cientos o miles de corales ante nuestros ojos, fue para mí y muchos de mis colegas, algo que trascendió a nuestra activad académica.
A muchos nos afectó emocionalmente, y en ocasiones la impotencia de no poder cambiar las cosas fue un peso difícil de llevar mientras buceábamos en nuestros arrecifes. Este sentimiento se conoce como “duelo ecológico”, y es cada vez más común entre los que nos dedicamos a estudiar y conservar la natura -
Coral lechuga blanqueado y posteriormente erosionándose. Arrecife La Bocana, Puerto Morelos
Foto tomada en agosto de 2023. © Esmeralda Pérez Cervantes

Foto área de un parche del coral cuerno de alce en el arrecife Radio Pirata, Puerto Morelos
Foto tomada en agosto de 2023. © Lorenzo Álvarez-Filip
leza. Y como en otras situaciones de pérdida, creo que no nos toca más que aceptarla, y seguir hacia adelante, duplicando esfuerzos para generar un futuro diferente al que nos enfrentamos. Existen muchas acciones que se están desarrollando para prevenir o revertir la mortalidad coralina.
Mi visión es que toda acción tiene que ser analizada a la luz de la ciencia y la evidencia, y no dejarnos llevar por soluciones estridentes. Sin embargo, es incuestionable que revertir las tendencias de cambio climático mediante la disminución de emisiones gases invernadero es prioritario.
Para ello se requieren cambios en las políticas públicas, sumando a acciones a nivel social e individual que nos permitan dar un respiro a los arrecifes coralinos (y consecuentemente muchos otros sistemas naturales).
También pero no menos importante, reducir otros factores de estrés, como los provenientes del desarrollo costero, ciertamente ayudan en el mediano plazo a proveer un ambiente menos adverso que permita a los corales resistir de mejor manera las crecientes presiones climáticas.

Héctor Reyes Bonilla
Alejandra Robles Payán, Andrea Nicolás Chávez y Rebeca Meléndez Rosas
Universidad Autónoma de Baja California Sur y Costasalvaje, AC
Correo-e: hreyes@uabcs.mx
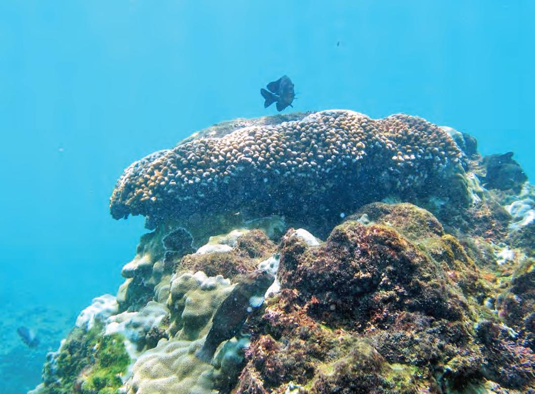
E l golfo de California es un mar interior reconocido mundialmente por su gran diversidad y el alto grado de endemismo de especies marinas, así como por ser la principal zona pesquera de México.
El golfo de California también se vio afectado por el evento de elevación de temperatura oceánica que se presentó en 2023-2024; entre los ecosistemas que fueron más fuertemente impactados se encuentran los arrecifes rocosos y coralinos, los cuales se distribuyen principalmente en la costa sureste de la península de Baja California.
Para documentar la respuesta de las comunidades arrecifales a la elevación térmica, con apoyo de Alumbra Innovations Foundation y el Fondo Mexicano para la Conservación de la Naturaleza, llevamos a cabo un estudio de agosto 2023 a junio 2024 para describir los cambios que se presentaron en la fauna de corales, invertebrados (moluscos, crustáceos y equinodermos) y peces residentes en los arrecifes de dos áreas naturales protegidas: el parque nacional Cabo Pulmo y el parque nacional zona marina del Archipiélago Espíritu Santo. En paralelo se analizó el impacto del calentamiento sobre los servicios ambientales que ofrecen dichas áreas a la sociedad, y se entrevistaron turistas para conocer su opinión sobre lo que estaba pasando en el mar.
Los resultados fueron muy interesantes. Primeramente y en relación con los corales arrecifales, en los meses de mayor estrés (con temperaturas que superaron los 30 °C) el blanqueamiento en Espíritu Santo y Cabo Pulmo alcanzó


el 60 por ciento de las colonias residentes, pero para primavera de 2024, una vez concluido el evento de calentamiento, la mortalidad final no excedió el 30 por ciento; sobrevivió aproximadamente la mitad de las colonias afectadas.
Esta cifra es muy superior a la que se observó en otras zonas del Pacífico mexicano (ver otros trabajos en este mismo suplemento), y la diferencia puede deberse al efecto combinado de la alta capacidad adaptativa de los corales del golfo, que han tolerado blanqueamientos en 1987, 1997, 2015 y 2023, y a que la temperatura se mantuvo por encima de los 30 °C por menos de tres meses.
¿Cuánto tiempo tomará la recuperación? Esa es una pregunta clave y afortunadamente existe información pre -
Imagen captada en Cabo Pulmo
Foto: Octavio Aburto/ Conanp
via para hacer un pronóstico fundamentado. Después del evento de El Niño de 2015, la cobertura de coral en Cabo Pulmo bajó un 25 por ciento, y tomó ocho años (hasta 2023) regresar a los números originales.
Si la tasa de recuperación se conserva y si no hay alguna otra perturbación mayor que cause nueva mortalidad, o bien si no se realiza restauración activa (que elevaría la velocidad de mejora), esperaríamos que en 2032 las comunidades arrecifales del sur del golfo de California hayan retornado a sus niveles originales.
Los peces arrecifales sufrieron en menor medida los efectos de la perturbación térmica. En verano de 2023, la abundancia de estos organismos en los arrecifes bajó
prácticamente a la mitad de lo observado en la misma estación del año en 2022, pero para primavera 2024 los números se habían recuperado. La notable disminución se debió a que muchas especies con alta capacidad de movimiento (pargos, cabrillas, cochitos) se trasladaron a zonas más profundas que tenían más alimento y condiciones térmicas adecuadas, pero regresaron a los arrecifes una vez que el escenario ambiental mejoró. Desde la perspectiva ecológica, las comunidades de peces en las dos áreas naturales protegidas mostraron gran capacidad de resiliencia.
Aunque desde la óptica ecológica no hubo mayor impacto para la ictiofauna en respuesta al calentamiento del océano y al blanqueamiento,


el movimiento de individuos tuvo un impacto importante sobre las pesquerías artesanales locales, ya que los peces comerciales se desplazaron a zonas más profundas y una buena parte de la población quedó fuera del alcance de las artes de pesca convencionales (anzuelos, redes y trampas).
El resultado fue una disminución de casi el 30 por ciento de la captura en las zonas aledañas a las áreas protegidas estudiadas al comparar 2023 con el promedio de los 5 cinco años anteriores. Además, los organismos extraídos estaban “flacos”, presentando un peso de hasta el 15 por ciento menor al normal.
Eso posiblemente se debió a que las especies comerciales de la región estudiada son principalmente de hábitos carnívoros, y para alimentarse de sardinas o de otros peces de talla mediana o pequeña tuvieron que trasladarse por debajo de los 40 metros y entrar a la “zona de oxígeno mínimo” que se presenta alrededor de esa profundidad en el sur del golfo de California. El gasto energético que implicó realizar frecuentemente el recorrido en condiciones que afectaron la respiración debe haber alterado su condición física.
Como se ha descrito, la situación actual de peces y corales arrecifales en la región de estudio no se ve tan mal; sin embargo, en el caso de los invertebrados las consecuencias del blanqueamiento fueron mucho más intensas.
Este grupo se vio afectado al grado que su abundancia se redujo aproximadamente a la mitad. Las especies más
impactadas fueron las estrellas de mar, sus números actuales son los más bajos en 30 años; esto puede augurar un problema ecológico potencial para los arrecifes ya que estos organismos juegan múltiples papeles ecológicos como depredadores, herbívoros o consumidores de detritos.
El estudio de las consecuencias ecológicas del calentamiento del mar es de gran importancia, pero solo ayuda a entender de manera indirecta los efectos que esto puede tener sobre las personas que utilizan los recursos marinos como modo de vida.
Una forma de evaluar de forma más clara este impacto es por medio de la cuantificación de la condición de los servicios ambientales, los cuales representan los bienes y servicios que la naturaleza le otorga a la sociedad.
Entender el impacto de la elevación de la temperatura sobre los servicios ambientales de los arrecifes del sur del golfo de California no solo es importante desde la perspectiva de la investigación sino que nos permite “asomarnos al futuro”, ya que las condiciones anómalas observadas en 2023 serán las normales en la década de 2040-2050, de acuerdo a las predicciones de los modelos de cambio climático que emplea el Panel Intergubernamental de Cambio Climático de las Naciones unidas (IPCC por sus siglas en inglés).
Es decir, lo que vimos en 2023 puede ayudar a prever posibles cambios en los servicios ambientales de los arrecifes, y por ello el estudiarlos puede ser fundamental para planificar acciones de adaptación a los escenarios futuros.
El análisis se basó en la definición de 16 servicios que ofrecen los peces y los invertebrados a la sociedad (incluyendo especies de importancia pesquera, atractivo turístico, que reciclan nutrientes o que son especies culturalmente importantes al estar bajo protección federal), y los resultados mostraron que para el caso de los peces no hubo diferencia en los indicadores al comparar los veranos de 2023 y 2024, demostrando una vez más la alta resiliencia de estos organismos ante una perturbación ambiental relevante. Pero, desafortunadamente para los invertebrados, denotamos que aunque se ven señales de recuperación, en las áreas protegidas estudiadas el impacto fue duradero. Esto implica que ciertos sectores sociales que emplean estos organismos para obtener recursos o alimento, pueden ver afectada su calidad de vida en los próximos años. Finalmente, el estudio de la opinión de los turistas al evento de blanqueamiento coralino fue realmente instructivo. La técnica para obtener la información consistió en un cuestionario corto que se aplicaba inmediatamente después de que las personas salían del mar luego de realizar actividades de nado, snorkel o buceo.
En ese momento la gente en general tenía una calificación positiva sobre las condiciones del arrecife, incluso llegaba a pensar que un coral blanqueado estaba en buenas condiciones, y apreciaba que el paisaje submarino tuviera una gama de colores del verde-café (típico del
coral sano), al blanco. Una vez terminada la entrevista se daba a conocer a las personas que el blanqueamiento era un fenómeno negativo para los arrecifes y que posiblemente tardaría casi una década en que estos se recuperaran. Y entonces se repetían las preguntas.
El cambio de perspectiva fue inmediato, cambiando el sentir de los turistas al lado contrario (es decir, calificando el estado del arrecife como malo), y además la gente se mostraba molesta por la falta de información sobre lo que estaba pasando.
Los visitantes preguntaron por qué las agencias de noticias y las autoridades de las áreas protegidas no hacían esfuerzos para divulgar la problemática, de tal forma que los ciudadanos pudieran realizar alguna acción efectiva para conservar un ecosistema que estaba sufriendo daños evidentes.
¿Qué hacemos ahora? ¿Cómo ayudar a la recuperación de los arrecifes? La Comisión Nacional de Áreas Naturales Protegidas reconoce el gran problema al que nos enfrentamos y está en proceso de implementar un plan de acción en respuesta a los blanqueamientos coralinos, para el cual la comunidad académica ha hecho múltiples sugerencias.
Debido a la magnitud de la empresa, creemos que es esencial el trabajo conjunto de todos los sectores, dentro de un marco de gobernanza, para encontrar formas de aumentar la capacidad adaptativa no solo de los arrecifes, sino de las comunidades humanas que dependen de ellos.