STAY ALERT. GET PREPARED NOW.



STAY ALERT. GET PREPARED NOW.
During
• Do you have a Monroe County License?
• Do you have general liability and workman's comp insurance?
• Are you familiar with Monroe County Building Regulations?
• Will you pull a permit if my work requires it?
• Have you done this type of work before?
• Are you self performing the entire project?
• Will you supply releases of liens for your subcontractors and suppliers?
• Does your contract state the contractor will apply for the permit by a certain date?
• Does your contract state the contractor will start the job within a certain time period after the permit is issued?
• Does your contract state the contractor will complete the job within a certain time period?
• How many projects is the contractor working on now? Does he have the capacity to complete my work?
• Do you have recent examples of similar work or references I can call to evaluate your work?
Online & Mobile Banking
Bank anytime, anywhere. Manage your account 24/7 with Mobile Deposit, Direct Deposit, Bill Pay, person-to-person and bank-to-bank transfers Log in or enroll today on our KeysBank Mobile App or at KeysBank.com.
Debit Cards
Use your debit card for quick cash access when banks are closed or if you have to evacuate. FSB does not charge a fee for using your debit card at any ATM* or Publix Presto! ATMs. You can also get cash back with purchases at many businesses. Instant Issue debit cards are available at all Keyswide locations.
Electronic means of payments may not be available if there is a power failure. Be sure to have cash and your checkbook on hand for purchases.
Secure Important Documents
Make copies of your insurance papers, Social Security cards, birth certificates, mortgages, and other important documents. Originals can be stored in a First State Bank Safe Deposit Box.**
Hurricane Loans & Credit Cards
A Mortgage, Home Equity Line of Credit, or Personal Loan can provide money on hand to prepare and, if necessary, recover quickly from a hurricane. We also offer personal and business credit cards. Apply online at KeysBank.com.
p.8 The island has a plan Important information during & after the storm
p. 12 Evacuation time Know your zone to go
p. 16 Plan ahead Prep for pregnant women, babies and pets
p.18 Easy reentry Get your stickers now at these locations
p.20 Need a ride? Evacuation resources
p. 22 Safe shelter Locations and rules
p. 26 Check it twice Hurricane supply checklist
p.30 Let’s get digital Track the storm with these apps
Download the KeysBank Mobile App for access to your account 24/7
Publisher Jason Koler
jason@keysweekly.com
Managing Partner
Britt Myers britt@keysweekly.com
Creative Director
Stephanie Mitchell stephanie@keysweekly.com
Editor Jim McCarthy jim@keysweekly.com
Art/Design
Javier Reyes javier@keysweekly.com
Sta Writers
Mandy Miles mandy@keysweekly.com
Alex Rickert alex@keysweekly.com
Copy Editor Mike Howie mike@keysweekly.com
Account Executives
Patti Childress patti@keysweekly.com
Jill Miranda Baker jill@keysweekly.com
Stephanie Mitchell stephanie@keysweekly.com
Oliver Allison oliver@keysweekly.com
Production Manager Anneke Patterson anneke@keysweekly.com
Art/Design
Irene de Bruijn irene@keysweekly.com
Ashley Hobart ashley@overseasmediagroup.com
Web Master
Travis Cready travis@keysweekly.com
Digital Editor
Gwen Filosa gwen@keysweekly.com
Executive Administrator
Char Hruska char@keysweekly.com
Comptroller
p. 32 Careful, it’s electric Tips from the power pros
p.34 What’s in a name? List of 2024 storm names
p.36 Storm surge Look out and stay alert
Sarah Simcic sarah@keysweekly.com
Contributors
Brad Bertelli
Cover Photo
Mark Hedden
Digital Support
Overseas Media Group
p.42 Hurricane history Storms tell different stories
p.46 Handy gadgets Get these for your storm kit
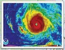
This year marks the seventh anniversary of Hurricane Irma, one of the most destructive storms to impact the Florida Keys. While so many of us were devastated by the storm, the minimal loss of life was due in part to preparation efforts and our local emergency management team.
Preparation for a storm’s impact is an important and necessary part of living in the Florida Keys. This Hurricane Guide contains valuable information on how to create your own hurricane plan, as well as what to do in the event of a mandatory evacuation.
The 2024 Atlantic Hurricane Season begins on June 1 and runs through Nov. 30 — but tropical cyclones have formed both before and after these dates. This year’s hurricane season is predicted to be above average, with at least 23 named storms and 11 hurricanes — five of which may be Category 3 or higher (Colorado State University). The total number doesn’t matter in the end, because it only takes one storm to wreak havoc on our islands.
The city of Marathon’s emergency management team will monitor all potential storm threats. Working with Monroe County Emergency Management, the National Weather Service office in Key West, and the National Hurricane Center, we will keep our residents and visitors up to date with the most current forecasts and information available. In the event a mandatory evacuation is called, please heed the instructions of local emergency management — both when it’s time to leave, and when it’s safe to return. In the meantime, please make your personal hurricane plan preparations: water, non-perishable food, batteries and plans for your pets.
All the best,
Our city council wants everyone to be prepared and stay safe this hurricane season. Your city staff and emergency managers are here for you, and we hope and pray for a very uneventful hurricane season.
www.ci.marathon.fl.us
“Expect an active hurricane season” are the usual words from forecasters and prediction centers nowadays. Water temperatures are rising in the low latitudes of the Atlantic Ocean near the Equator, clearing the way for rapid storm intensification.
Even with storm-suppressing conditions from El Niño in 2023, 20 storms formed in a warm Atlantic Ocean. Seven of those became hurricanes, with three reaching strengths of a Category 3 or higher. Besides the Category 4 Hurricane Idalia, which struck North Florida in late August 2023, a majority of the storms curved away from the U.S.
Forecasters are predicting El Niño to dissipate sooner than later, and clearing the way for La Niña to arrive mid- to late summer. La Niña, or Spanish for “little girl,” could be especially problematic during the 2024 Atlantic hurricane season.
One of the key factors in the formation of hurricanes is vertical wind shear, or the change in wind speed and direction 5,000 to 35,000 feet above ground. Wind shear tends to weaken storm systems coming off the African coast and developing in the Atlantic.
La Niña causes the jet stream to move northward and to weaken over the eastern Pacific. The south sees warmer and drier conditions than usual during La Niña. NOAA
While an El Niño tends to keep a lid on hurricanes with wind shear, La Niña events weaken upperand lower-level winds over the Atlantic basin and Caribbean Sea. As a result, conditions are likely favorable for more hurricane formation and intensification.
“The earlier the La Niña pattern sets in, the less wind shear in the Atlantic and Caribbean.”
— Jon Rizzo, warning coordination meteorologist for the National Weather Service.
“The earlier the La Niña pattern sets in, the less wind shear in the Atlantic and Caribbean. Tropical storms and hurricanes may find favorable conditions to form and build strength,” said Jon Rizzo, warning coordination meteorologist for the National Weather Service in Key West.
Regardless of the signals pointing to an active hurricane season in the Atlantic, Rizzo said now is the time to begin preparations and plans should a storm threaten the Florida Keys.
“If you are ordered to evacuate by Monroe County Emergency Management, make sure you have a plan in place to leave with your loved ones,” he said.
According to NOAA, La Niña favors increased Atlantic hurricane activity by decreasing wind shear and atmospheric stability.
The Atlantic hurricane season runs from June 1 to Nov. 30, 2024.
The “up side” of a hurricane isn't typically at the front of our minds as we watch the water rise in our yard and sweat through a power outage. But there is a silver lining to this particular natural disaster, compared to, say, earthquakes and tornadoes. That is advance warning.
Technological and meteorological advancements give us the gift of time, which is priceless in terms of preparation and potential evacuation.
And despite the Florida Keys’ laid-back lifestyle, the island chain and its officials take storms seriously, and always have a plan in place.
When a hurricane threatens the Keys, local emergency management officials with Monroe County and the municipalities spring into action, prepared to protect storm-seasoned residents and vacationing visitors. The plan aims to:
• Reduce vulnerability of people to damage, injury and loss of life and property.
• Prepare for prompt and efficient response and recovery.
• Prepare for prompt and efficient rescue, care and treatment of victims.
• Provide a setting of rapid and orderly restoration of services and rehabilitation of affected property.
• Provide for interagency coordination to facilitate immediate delivery of assistance.
The preparedness plan is put into action once the county officials declare a local state of emergency. Depending upon the level of the threat of the approaching storm, the various agencies will take action in coordination with Monroe County’s Emergency Operations Center (EOC).
At timed intervals before landfall, different parts of the plan will be implemented. These may include early evacuations for visitors, boaters and special-needs residents; coordination of response and recovery teams; any necessary mandatory evacuations for residents; and all necessary interagency coordination.
City and county officials have a disaster preparedness plan for residents and visitors, and residents should prepare a plan for their loved ones and pets. Use the expansive resources in this guide to formulate your plan, and make sure you follow it when needed. A government-authored preparedness guide is also available online from FEMA and Florida Division of Emergency Management.
FOR ALL IMMEDIATE EMERGENCIES, DIAL 911
MARATHON
www.ci.marathon.fl.us
305.743.0033
Facebook: @MarathonCityFL
MCSO law enforcement: 305.289.2430
Marathon Fire: 305.743.5266
Grassy Key Fire: 305.743.7599
HOTLINES
Monroe County
Emergency Information
Hotline: 800.955.5504
www.monroecountyem.com
State of Florida Emergency Information: 800.342.3557
Poison Control: 800.222.1222
WEATHER
National Weather Service, Key West www.weather.gov/key
305.295.1316
Facebook: @NWSkeywest
National Hurricane Center www.nhc.noaa.gov
Facebook: @NWSNHC
MONROE COUNTY
www.monroecounty.fl.gov
305.294.4641
Facebook: @MonroeCountyBOCC
Monroe Fire Rescue
305.289.6004
Monroe County Emergency Management 305.289.6018
The Monroe County Sheriff’s Office’s smartphone app, simply called Monroe County Sheriff’s Office, keeps residents informed of emergency situations ranging from traffic accidents to hurricane evacuation. The free app is available for both iPhone and Android. Monroe County residents can also receive the latest information by phone, email, landline and more by registering for Alert! Monroe. Visit monroecounty-fl. gov/alertmonroe to sign up. Monroe County Emergency Management uses the app Everbridge for the Special Needs Registry for shelter and evacuation assistance.
Download the Baptist Health PineApp to get 24/7 access to virtual urgent care even when you can’t leave your home.
Enroll
Create your account. Visit Start a visit in minutes.
Welcome to 24/7 Connected Care.
Feel Better
Get care and a prescription, if needed.
Scan to download.
Don’t wait until the last minute—act now to gain peace of mind for the safety of your valuable investment. Suntex Marinas provides comprehensive hurricane storage solutions designed to safeguard your boat. We are committed to giving you confidence during the unpredictable storm season.
Decisions by local officials to evacuate are never made lightly when an impending hurricane (Category 3 or higher) is barreling toward the island chain.
A detailed and phased evacuation plan exists to ensure everyone on the island exits safely. All Keys agencies and government offices work together, including the Navy, Coast Guard, hospitals, county health department, public works departments, utilities, schools and even volunteer charitable organizations. All decisions are made locally with heavy input from the National Weather Service office in Key West.
For years, Monroe County had a very simple evacuation plan based on hours to landfall, phases and zones. Per Emergency Management Director Shannon Weiner, “Generally, we call for the evacuation of visitors and special-needs populations first.”
In some scenarios — like a rapidly intensifying hurricane — county officials might not distinguish among population groups or zones of the Keys. For example, if a small storm has the potential to escalate, evacuations might be called more urgently.
In the event of a Category 3 to Category 5 storm, or if officials expect a storm to strengthen to those levels, evacuation is mandatory for everyone. County shelters are only open for a Category 1 or 2 storm (SEE PAGE 22).
Staying put, even for a minor hurricane, won’t be pleasant. Grocery and drug stores could be closed. Power will likely be out and it will be hot. Water could be shut off. In other words, circumstances could be miserable. Residents should decide based on what’s proper for the most vulnerable person in their group — whether that is an elderly aunt or a newborn.
Monroe County Emergency Management officials, as well as other agencies, will disseminate pertinent hurricane information through a variety of media. Check the Keys Weekly’s Facebook page or website of your local municipality; tune in to channel 76 on Comcast Cable; follow the U.S. National Weather Service Key West on Facebook or call the hotline, 800-955-5504.
Monroe County has a comprehensive plan that calls for phased evacuation with five zones established from MM 0 to Ocean Reef. The evacuation plan is intended to avoid unnecessary evacuation if some zones are expected to be affected and others not. So, know your zone if local officials order evacuations. NOTE: Evacuation zones are different from re-entry zones after a hurricane.
Zone 1 : MM 0 to MM 6
Zone 2 : MM 6 to MM 40
Zone 3: MM 40 to MM 63
Zone 4: MM 63 to the three-way stop at County Road 905-A
Zone 5: County Road 905-A to mainland Monroe, including Ocean Reef
Make sure FKEC has your current phone numbers. When you call FKEC, the phone system automatically matches your phone number to your electrical equipment. For faster restoration, make sure the number(s) you are most likely to call from to report an outage are registered to your account. Update at www.FKEC.com, via
or 305-852-2431.
Stay in the know! Make sure FKEC has your accurate email address.
The cooperative uses email to communicate important timely information during storms and throughout the year. Update at www.FKEC.com, via SmartHub, or call 305-852-2431.
Make sure FKEC can access your meter.
To make repairs co-op crews must have 24-hour access to your meter.
If your power goes out, check your breakers first. Approximately 33% of all power outages are caused by breaker issues, which is the member’s responsibility to resolve.
Report the outage by calling or texting. Call 305-852-2431 or text “outage” to 45183 to report your outage. Note, your mobile number must be pre-registered with FKEC to report via text and receive status updates. Learn more at www.FKEC.com/outage-center/.
Protect Your Home with FKEC Devices:
Whole-Home Surge Protection
Surge protection at your meter to safeguard your home or business’s electrical system, appliances and electronics.
Portable Generator Connection FKEC offers GenerLink, a device mounted at your meter that simply and safely connects a portable generator to your home or business.
Learn more at www.FKEC.com/services/
Bank
Safety first!
Stay clear of all downed power lines or electrical equipment. Call 911 to report a downed power line if you feel the situation presents a clear and imminent danger. Then report the wire down to FKEC by calling 305-852-2431.
Link your Accounts. Link your Keys FCU accounts with accounts at other financial institutions to transfer money electronically.
Keeping you and your family safe during a weather emegency
Non-perishable food and water (one gallon per person, per day) for 7 days.
Manual can opener.
30-day supply of medications.
Infant formula, preferably ready-to-eat.
Battery-powered or crank weather radio.
Pet supplies, including: Food, water, and medications.
First aid kit.
• NEVER use a gas-powered generator indoors, in a garage, or within 20 feet of windows or a window air conditioner.
• Use a battery powered carbon monoxide alarm to prevent CO poisoning.
• Protect yourself from insects when outside by covering your skin (long-sleeved shirt and pants), and use insect repellant containing DEET, picaridin, or oil of lemon eucalyptus.
• Drain any standing water to prevent mosquitoes from breeding.
The Florida Department of Health in Monroe County, in partnership with Monroe County Emergency Management, provides shelter to those with special medical needs during an evacuation.
• This shelter should only be used as a last resort.
• To see if you qualify or to pre-register for the special needs shelter, visit MonroeCountyEM.com/SpecialNeeds.
For more information, call 305-293-7500 or visit Monroe.FLhealth.gov.
Storm preparation shouldn’t happen at the last minute, especially if your family has an expectant mother, newborn or young child. As hurricane season begins June 1, keep the precious ones at the forefront by developing alternative plans if emergency management officials call for an evacuation, adding formula to the supply list and considering ways to soothe children during uneasy times.
According to the Florida Keys Healthy Start Coalition, pregnant women who may be giving birth at home should have an alternative plan in the event of an evacuation. During major storms, Monroe County officials could issue either a voluntary or a mandatory evacuation. Many local services such as emergency response and hospitals could be limited or even closed during evacuations, so pregnant women are encouraged to heed orders to leave.
An alternative birth plan should take into account finding a hospital that’s located away from the storm’s path, as well as having a place near the hospital to stay before the birth. Also, notify your local doctor about the hurricane plans.
Pregnant women should continue healthy habits such as exercising, reducing stress, taking prenatal vitamins, eating nutritious foods and following up on prenatal care during and after the storm.
For the baby, nutritional and comfort needs must be considered when creating a hurricane kit for the home or the car. Babies 6 months and younger need to have a supply of breast milk or formula. For babies who drink formula, the family needs to have a supply of safe drinking water and a method to sanitize bottles (or use disposable bottles). Pack at least three full days’ and nights’ worth of bottles, water and formula.
Consider packing comfort items for your child such as favorite blankets, pajamas, music or toys. Having the child’s comfort items and nutritional needs already planned for can ease some of the burden of the storm.
Last but not least, don’t forget to stock up on extra baby wipes and diapers. Supplies can be slow to restock in stores after a storm.
Children are affected by changes in mood and environment due to disasters just as much as adults. Fear, anxiety and stress may last long after the initial impact. That’s why parents should do everything they can to minimize the effect. Experts suggest parents limit a child’s exposure to media coverage of the storm, as well as listening to and comforting your child to ease their fears, and establishing routines and norms even if away from home.
Your pets rely on you and the decisions you make. Hurricane Katrina in 2005, which ravaged New Orleans, revealed the folly of trying to separate humans from their animals. Many people and pets lost their lives.
Now, however, there’s legislation in place mandating space for animals at shelters. There is never a reason to leave behind domesticated animals when leaving your home during times of a hurricane. Here’s how to keep your pet safe in the event of a hurricane.
BEFORE THE STORM
• Microchip your pet, and have your pet wear a collar with an ID and a rabies tag. Carry photos of your pet to help in the event they go missing.
• Consider a harness or leash for your cat. Allow time to get them used to wearing the harness before a storm approaches. Get a harness especially for cats that can wriggle out of anything else. It could prevent a stressed-out, thunder-shy kitty from darting away to hide.
• Have an evacuation pack for your pet. It should include food and water for two to four weeks. Keep dry food sealed in waterproof containers and pack bowls of food and water as well as a can opener if necessary. Also, pack kitty litter and trays and bring bags to clean up after your pet.
DURING THE STORM, IF YOU CANNOT EVACUATE
• Choose a safe room for riding out the storm. Consider a room located toward the interior of the house and a place without windows.
• If you can, stay with the pet to provide comfort. If crated, ensure they have adequate water and food.
• Keep an emergency kit in the room. The kit should include food, water, litter and any medications.
• Know where your pet likes to run and hide.
• Secure exits to prevent the pet from darting outside.
• Remember, all Keys shelters are pet-friendly destinations. The shelters are located at Key West High School, Sugarloaf School, Marathon High School and Coral Shores High School.
AFTER THE STORM
• Ensure the storm has fully passed, no wires are down and there’s no major flooding before letting a pet out.
• Give your pets time to get reoriented if they haven’t been outside for several days.
• Keep pets away from downed power lines.
• To provide continuous comfort after a storm, find a safe and quiet environment, even if it’s not their home.
STAYING IN THE KEYS DURING A CATEGORY 1 OR 2 STORM? MONROE COUNTY OFFERS
4 PET FRIENDLY SHELTERS:
• KEY WEST HIGH SCHOOL
• SUGARLOAF SCHOOL
• MARATHON HIGH SCHOOL
• CORAL SHORES HIGH SCHOOL
Scan the code for the FKSPCA’s Preparedness Guide and to learn details about the requirements of the pet friendly shelters. fkspca.org/humane-education-events/ hurricane-preparedness
KEY WEST 5711 COLLEGE RD 305-294-4857
MARATHON 10550 AVIATION BLVD 305-743-4800
reentry to the island chain — when it’s deemed
safe and there are enough services — must be carried out in an orderly, staged manner. Enter the resident reentry sticker.
The colored badge, which goes on the lower corner of the driver side’s windshield, denotes where a Monroe County resident lives, all while letting sheriff’s deputies manning checkpoints know you’re legit and have a reason to come back. These stickers can be obtained by local residents at the Monroe County Tax Collector’s office.
When you go to obtain your sticker, bring proof of residency, such as a Florida driver’s license and vehicle registration. Out-of-county residents who have a home in the Keys can show a property tax bill to get a sticker for their vehicle.
When the Florida Keys are in the cone of a major hurricane, the last thing anyone wants to do is worry about the reentry decal system for your car. After all, those last few moments are spent bringing all the lawn furniture inside, buying clips for your storm shutters and extra food and water for your furry friends.
Shannon Weiner, county emergency management director, encourages residents to obtain a reentry sticker before a hurricane threatens the area — as hurricane season begins June 1. Stickers will not be available once a state of emergency is declared in Monroe County, which occurs several days before a storm is forecast to strike.
“The whole gist of the sticker is get people into the county faster and keep traffic moving into the Keys,” Weiner said.
The Monroe County Tax Collector’s office is responsible for providing reentry decals. Per
Monroe County Emergency Management: Residents may obtain one sticker for each registered vehicle by providing proof of residency at a Monroe County Tax Collector’s office.
Those who don’t have a reentry sticker and want to reenter the Keys, be sure to have supporting documentation with you to show you’re a Keys resident. It can be a utility bill, tax bill, etc.
Stickers are barcoded and color-coded for zone-by-zone reentry. Stickers for Lower Keys residents from the south end of the Seven Mile Bridge to Stock Island (MM 40 to MM 4) are dark pink, while Middle Keys residents from the south end of the Long Key Bridge to the north end of the Seven Mile Bridge (MM 64 to MM 47) get aqua stickers. Upper Keys residents from the county line, including Ocean Reef, to the north end of the Long Key Bridge, (MM 113 to MM 64) will have a purple decal. The City of Key West requires its own sticker, which is white.
Once you obtain the sticker, go ahead and put it on the lower driver side windshield of the vehicle it’s registered to. The sticker can’t be reused for reentry with another vehicle.
For those wondering when they’ll be able to return to the Keys, emergency management officials encourage people to sign up for the Alert! Monroe system. It enables people to receive emergency alerts and information via text messages, phone calls or emails. Sign up at www.monroecountyem.com/alertmonroe. For more information, including the tax collector locations to get your reentry sticker, go to www.monroecounty-fl.gov/916/Reentry-Vehicle-Windshield-Stickers.
2024 hurricane season reentrystickersare availableatyourlocal tax collector’s office.
Residents from Ocean Reef to Stock Island: Stickers are available at the Monroe County Tax Collector’s office locations from 8 a.m. to 4:45 p.m. Monday through Friday.
TAX COLLECTOR LOCATIONS:
Key West - 1200 Truman Ave., Ste 101, or the DMV at 3304 N. Roosevelt Blvd.
Big Pine Key – 247 Key Deer Blvd. (Tuesday through Thursday 9 a.m. to 3 p.m.)
Marathon - 3015 O/S Hwy.
Plantation Key
88800 O/S Hwy.
Key Largo - 101487 O/S Hwy.
Don’t wait until there is an emergency.
Bottled water for drinking, cooking, brushing teeth, etc Allocate at least one gallon per person per day
Non-perishable, canned foods, and manual can opener.
Infant ready-to-eat formula
Battery-powered or crank weather radio.
Food, water, and medications for for pets.
First Aid Kit
30-day supply of medications
List of medical conditions.
Gas-powered generators must never be used indoors, in a garage, or within 20 feet of windows or a window air conditioner
Have a battery- powered Carbon Monoxide alarm installed to prevent CO Poisoning.
Cover your skin; Wear a longsleeved shirt, lightweight pants, and use insect repellant containing DEET, picaridin, or oil of lemon eucalyptus.
Drain standing water to prevent mosquitoes from breeding.
The Florida Department of Health in Monroe County in partnership with Monroe County Emergency Management and Monroe County Social Services provides care to those with disabilities during an evacuation and have no other sheltering options These shelters should only be used as a back-up to personal sheltering plans
To see if you qualify or to pre-register for the Special Needs Shelter, visit: tinyurl.com/monroespns
Special-needs registry takes care of most vulnerable
In meeting the special needs of residents with physical and mental challenges during evacuations and sheltering, Florida law requires each local emergency management agency in the state to maintain a registry of disabled persons in the agency’s jurisdiction.
“Our special-needs residents will be screened, transported, sheltered and cared for under the same precautions as the general population,” said Shannon Weiner, Monroe County Emergency Management director.
With Monroe County’s system, Everbridge, registrants will be notified by telephone, text, email or smartphone of a pending evacuation and be given specific instructions to follow when evacuating to the Special Needs Shelter. Officials will make every attempt to reach out via the methods the registrant prescribes when he or she registers. Eligible conditions for the Special Needs Shelter include, but are not limited to: Being dependent on supplemental oxygen; limited mobility; needing assistance with daily activities such as feeding, medications and hygiene; moderate dementia; cognitive impairment; immobile or
wheelchair-bound; in need of wound care and/or in need of constant supervision.
All applications will be reviewed by medical staff from the Department of Health and assessed for program eligibility. Ineligible applicants will be referred to applicable sheltering options, which may include a general population emergency shelter or a specialized medical facility or nursing home.
The Special Needs Registry is not a replacement for having an evacuation plan of your own. Residents should try and seek help or shelter from
family, friends or neighbors in a hurricane or other disaster. Public shelters should be a last resort for those who have no other choice.
Residents who have registered and requested transportation assistance will be notified through a specified method of communication in advance of evacuation. At that time, the registrant must make a decision whether or not to evacuate with the help of county officials, as there will be no second phone call. Those who decide to take part will be directed to the nearest staging area or arrangements will be made to pick them up. Registrants must have belongings and supplies packed and ready to go.
Monroe County encourages individuals living in storm surge planning zones and mobile homes to have arrangements in place to stay
outside of the areas called for phased evacuations during a tropical storm or hurricane. Monroe County Emergency Management will activate specific emergency evacuation bus pickup stops along U.S. 1 as directed by the Monroe County Sheriff’s Office.
“Monroe County regular bus service (Key West Transit and Miami-Dade Express) run free of charge, utilizing all regular stops, to the general population shelters designated open when a general population evacuation has been called,” Weiner said.
It is the responsibility of the residents to get to the designated pickup site. The buses placed into service for the evacuation will have displays that read “EMERGENCY EVACUATION” and these buses will only travel between the Keys and the out-of-county hurricane shelter.
The registration portal can be reached by visiting monroecountyem.com, clicking the “Preparedness” tab and selecting Special Needs Registry. Applicants may also download the Everbridge app for smartphones at everbridge.com/app or through the App Store for iPhone and Google Play for Android devices. If residents are unable to register on their own, or do not have access to the internet, they may seek assistance through a home health care provider, primary care physician, case manager, family or friends.
Find dry ground in times of a hurricane
Mariners should heed local alerts, be prepared to leave their vessels should the going get worse and have a plan during hurricane season.
Use trusted, credible sources for weather information, like hurricanes.gov and weather.gov/key. Hurricanes and strong tropical storms can bring storm surge, flooding, wild winds, blinding rain, tornadoes, powerful waves and currents.
The best place for your boat in a hurricane is out of the water. If that is not possible, find a snug harbor. If you cannot secure your boat in a snug harbor, mooring in a sheltered location can be a good alternative to exposed harbors or crowded marinas.
Preparation is key. All preparations should be complete before the arrival of 34-knot sustained winds. County emergency management officials say people shouldn’t be thinking about riding out a storm at sea. No matter how valuable your boat may be to you, it’s not worth risking your life.
“One of the most dangerous mistakes is staying aboard a boat during a hurricane,” Monroe County Emergency Management states.
“Once the wind starts howling, you cannot count on a Coast Guard response.”
EMERGENCY CONTACT NUMBERS FOR MARINERS
U.S. Coast Guard Command Center: 305.292.8727
NOAA National Weather Service: 305.295.1316 Monroe County Emergency Management (activated during storms): 800.955.5504
BROADCAST NOTICE TO MARINERS (BNM) www.navcen.uscg.gov/ subscribe-email-rss-feeds
CATEGORY 1-2
HURRICANES
• Key West High School
2100 Flagler Ave., Key West
• Sugarloaf School
255 Crane Blvd., Sugarloaf Key
• Marathon High School
350 Sombrero Beach Road, Marathon
• Coral Shores High School
89901 Overseas Highway, Tavernier
CATEGORY 3-5
HURRICANES
• There are no shelters in Monroe County for a hurricane rated at or above a Category 3. Evacuation becomes mandatory for everyone.
• Once an evacuation is ordered, Monroe County residents seeking shelter on the mainland will be informed of shelter locations.
Please note that sheltering options may include Florida International University (FIU), the E. Darwin Fuchs Pavilion at the Miami-Dade County Fair and Exposition (which allows pets), and other facilities within Miami-Dade County, based on their availability on a per-storm basis. Special-needs individuals will be transported to the Special Needs Shelter at FIU. Information will be made available via Monroe County official alerts, Monroe County Website Press Releases, social media sites, MCTV Channel 76 & 99, and by local media and other local official government agencies.
› Residents are required to complete registration before entering the shelter.
› Residents will be assigned to a space.
› No weapons, alcohol or illegal drugs.
› No smoking allowed in shelters.
› “Lights out” quiet time will be enforced.
› Children must be attended to at all times. Parents are not allowed to leave the premises without them.
All Monroe County general population shelters are petfriendly. Pets accepted include dogs, cats, ferrets, birds, reptiles and pocket pets such as hamsters, gerbils and rabbits under 10 pounds. It is highly recommended that pets be pre-registered prior to a sheltering event. In order to preregister your pet you must complete an online registration. You will be required to attest to the fact that you have read and will comply with the Pet-Friendly Shelter Agreement and the Pet-Friendly Shelter Checklist. Pre-registrations are only valid for the calendar year in which they were submitted.
While at the shelter, all pets must be properly caged. Owners must present the medical history and current vaccination records for each pet upon checking into a pet-friendly shelter.
For more information on pets at shelters, including a shelter agreement, supply checklist and registration, scan the QR code:
Water and Food
› Drinking water in plastic containers.
› Non-perishable food in cans or sealed containers.
› Special dietary foods, baby food, formula, manual can opener, paper products, utensils.
› Portable ice chest with ice.
Clothing and Bedding
› Clothes and shoes.
› Sleeping bag, blanket, pillow, lightweight portable lounge chairs.
› Rain gear.
› Wash cloths, towels, soap, toothbrush, feminine products, paper towels, toilet paper.
› Clothes, diapers, formula, bottles, food and blankets.
Medications and First Aid Supplies
› Medication clearly marked with your name, dosage, type of medication and doctor’s name. Persons must be able to self-administer all medications.
› First aid supplies in a waterproof box.
› Name and address of doctors.
› Name and address of nearest relative.
› Identification and valuable papers.
Miscellaneous
› Games, cards, toys, batterypowered radios, flashlights.
› Shower and eat before leaving home.
Make sure you have these essential items
Take a few minutes to check your cache of storm supplies with hurricane season beginning June 1. For new residents who aren’t familiar with hurricane preparation, this list will help determine the items to buy and put away for those stormy days. Think about the items you need if you’re leaving the house to find safer quarters away from the storm’s path, as well as what you need to be properly supplied if you stay behind for a lesser storm. Remember those handy tools, jugs of water and some battery-powered lights. And here’s a pro tip: Take pictures of your home before a storm hits for insurance purposes.
• Gas or charcoal for the grill
• Manual can opener
• Non-perishable foods such as carbs: crackers, cereal, popcorn & chips
• Vegetables & fruit – canned vegetables and fruit
• Protein: canned tuna, soup or stew, peanut butter, beef jerky, canned sausage, nuts or ham
• Staples such as salt, pepper, sugar, mustard
• Drinking water, sport drinks
• Instant coffee
• Energy drinks
• First aid kit
• Sunscreen
• Mosquito repellent
• Acetaminophen
• Prescription medicines
• A watertight, easy-to-carry container to store essentials and paperwork
SANITATION
• Toilet paper, towelettes
• Soap, liquid detergent
• Feminine supplies
• Toothbrush, toothpaste, hair brush, shaving supplies
• Cash
• Bleach
• Gasoline
• Gloves
• Disposable respirators
• Face masks
• Propane gas
• Coolers
• Heavy-duty garbage bags
• Battery-operated charging pack for cellphone
• Tools, such as a saw, rake, machete, pruning shears, power drill, utility knife
• Duct tape, screws, nails, tarps, buckets
• Mess kits, paper cups, plates and plastic utensils
• NOAA weather radio with extra batteries
• Enough flashlights for everyone, with extra batteries
• Matches in a waterproof container
• Napkins, paper towels
• Aluminum foil
• THIS GUIDE
• Towels, bedding
• Work clothes, heavy shoes, hat, sunglasses
• Infant needs: formula, bottles, baby food, diapers, rash cream, fever medicine, decongestant, anti-diarrhea medicine
• Pets: papers, leash, collar with ID, crate, food, bowls, litter, bed
(Keep these documents in a waterproof, portable container)
• Will, insurance policies, contracts, deeds, stocks and bonds
• Passports, social security cards, immunization records
• Bank account numbers
• Credit card account information
• Important telephone numbers
• Family records (birth, marriage and death certificates)
• Proof of occupancy
• Pictures of your home pre-storm (for insurance purposes)
• Water: Store water in sanitized bathtubs, washing machines and water heaters. Have at least one gallon of water per person, per day, for seven days.
• Cooking: Do not use charcoal or gas grills indoors.
• Do not run generators indoors.
EVACUATION SUPPLIES
• Gas cans (preferably filled)
• Important papers and photo albums
• Important recovery tools (chainsaw, drills, etc.)
• Pet crates
• Masks, gloves and sanitizer
• Immediate supplies of food, clothing, toiletries, medications
Our bright and and airy space is a treasure trove of carefully curated clothing & accessories that embrace the island lifestyle.
Offering fabulous brands such as Farm Rio, Trina Turk, Oliphant and more, stop by and check out our island inspired collections.
Stop in to our island style general store located in the heart of the historic seaport district. Offering a wide variety of gifts, clothing, accessories and coastal
If there’s a hurricane, the best place for the boat is as far away as possible from the storm track.
Many Keys residents with small- to mid-size boats choose to trailer their boat to a safer location. If that’s your plan, be ready to go early: Monroe County’s phased evacuation calls for high-profile vehicles to leave first. After that, boats are not allowed on the highway. And no one evacuating with kids and pets in a crowded car wants to be behind someone towing a boat the length of U.S. 1 during an evacuation. (Trust us on this.)
Captains who intend to sail to their evacuation destination must also leave early; at some point during a mandatory evacuation the Snake Creek drawbridge in Islamorada will be locked down so vehicular traffic flows smoothly out of the Keys, and, of course, the weather will get nasty.
If it’s not possible to sail or tow the boat away from the storm, take the boat out of the water and stow it in a garage or on the lee side of a building. Tie the boat to the trailer and the trailer to an immovable object — such as a palm tree. Do not fill the boat with water. Boats are designed to keep water out and filling it with water could cause structural damage.
If it’s not possible to stow the boat on land, find a spot in a protected harbor. Again, the early bird will get the best spot, though it’s recommended to keep checking on the vessel as the harbor fills with other boats to ensure safe clearances between vessels. Take everything off the boat — sails, electronics, etc. Heavy and extra anchors are needed for this option and enough line should be on hand to allow a scope of at least 10:1 for each anchor.
Many working Keys captains adhere to the time-honored tradition of stowing their vessels in a “hurricane hole,” or a narrow inlet lined with mangroves. These protected spots block the wind and provide a tie-off. The best location for a hurricane hole — preferably scouted ahead of time — is one far enough inland to avoid the most severe winds and tides, yet close enough to reach under short notice.
The last option mariners should consider is leaving the boat at the dock. In a strong storm, high winds and waves will batter the vessel against the dock or lift and destroy both. A better option is to tie off in the center of the canal, again using immovable objects on land and the strongest part of the boat such as a mast, not a cleat. This requires cooperation with other boat-owning neighbors to ensure each boat has sufficient room. Also, leave some slack in the lines to allow for tidal change. Use extra fenders and also chafe protection so the lines don’t get severed.
ALERT! MONROE
Alert!Monroe is an Everbridge mass notification system used by Monroe County Emergency Management to quickly share emergency notifications with residents. Notifications can include severe weather, evacuation information, fires and other emergencies, as well as general important routine county information and announcements. Residents must visit monroecountyem. com and click on the Alert! Monroe button in order to obtain alerts.
Get detailed and accurate forecasts for wind, weather, tides and waves through this useful app. It’s easy to use and free of charge.
SHERIFF’S OFFICE
Stay informed of emergency situations in the Florida Keys during storm season such as hurricane evacuation. The app is available for Apple and Android users.
This comprehensive hurricane tracker app includes satellite imagery animations, National Weather Service alerts, tropical weather push notifications and weather prediction center graphics. Download for free.
Needing gas as you evacuate the Keys? Find the best prices with the gas map. Sort by price, location and important things like restrooms.
This all-in-one weather tracker provides real-time radar images, severe weather alerts and much more to keep you safe. Monitor important National Weather Service watches, warnings and alerts. Download for free.
Keep away from downed lines; give crews room to work
Florida Keys’ power companies are among the best in the world when it comes to restoring power following a hurricane. When you see the Keys Energy and Florida Keys Electric Co-op trucks on the road after a storm, give them plenty of room to work — and thank those crews for what they’re doing. Take the time, now, to prevent outages when you can, and prepare for what may come.
TREE INSPECTION
FKEC customers can scan the QRcodeto requesta tree trim.
GENERATOR SAFETY
KeysEnergy customers can scan the QRcodeto requesta tree trim.
Check the power lines surrounding your homes before a storm threatens the area. Take a close look at the “service drop” lines connecting your home to the nearest power pole. If you see limbs and trees with the chance to damage those lines in high winds, call FKEC at 305-852-2431 (Upper and Middle Keys) or Keys Energy at 305-295-1010 (Lower Keys and Key West).
If you or someone in your home is dependent on electric-powered, life-sustaining medical equipment, have an emergency plan for backup power or a plan to relocate when a storm warning is issued. Residents are encouraged to seek safety and follow any evacuation orders set by Monroe County.
KEEP AWAY FROM DOWNED POWER LINES
Like a ripple in the water, electricity from a downed line flows into the ground in a big circle up to 35 feet away. This means even getting near a downed power line can be deadly. Stay clear of all downed power lines or electrical equipment. Assume all cables and wires are energized and stay away. Call 911, FKEC at 305-852-2431 or Keys Energy at 305-295-1010 to report fallen power lines which present a clear and imminent danger to you or others.
SURGE PROTECTION
Implement meter-mounted surge protection. To protect your home from power surges, use a surge protector mounted at the electric meter in combination with plug-in surge protectors for individual voltage-sensitive electronic devices. Before a storm threatens, make sure you have all the equipment needed to secure your house or business. FKEC offers Meter-Treater Meter-Based Surge Protection which you can find more information about by visiting fkec.com/services/surge-protection/.
Never connect a generator directly to your home’s wiring without a Generlink or other approved interconnect device. Power from a generator connected to a home’s wiring will “back feed” into utility lines and could seriously hurt power crews working to restore service.
Plug appliances directly into the generator’s outlet. Don’t leave a running generator unattended; turn it off at night and when away from home. Never refuel a hot generator or one that is running; hot engine parts or exhaust can ignite gasoline. Turn off all connected appliances before starting your generator.
Turn connected appliances on one at a time, never exceeding the generator’s rated wattage. Overloading the generator can result in damage to appliances it is powering.
Remember, gasoline-powered generators produce deadly carbon monoxide fumes. Never run generators inside, in a garage or any enclosed or partially enclosed areas. You cannot see or smell carbon monoxide (CO), and portable generators can produce high levels of the toxic gas very quickly.
Keep generators away from all open windows — including neighbors’ windows — so deadly exhaust (CO) does not enter their home or business. To be safe, buy a battery-operated carbon-monoxide alarm when you buy your generator. It works like a smoke alarm, sounding an alert if carbon monoxide levels become dangerous.
During a storm, FKEC and Keys Energy Services will use all means of communication to keep customers informed. FKEC customers can sign up for outage texting. This service allows FKEC to send you power outage and restoration information as well as allowing you to report outages via text – your mobile number must be pre-registered with FKEC to report via text. More information is at www.fkec.com/outage-center. Keys Energy customers can find outage information at keysenergy.com/report-outage.
Before, during and after a storm, FKEC will share valuable information at www.fkec.com, on Facebook @FloridaKeysElectricCooperative and email on file. FKEC encourages members to have a current email address. FKEC members can update contact information through the SmartHub online/mobile app or at fkec. com/access-your-account.
Keys Energy will provide information at keysenergy.com, on X at Keys Energy Services and on Facebook @keysenergy.
If you have internet access after a storm, Keys Energy Services and FKEC websites also feature an outage map that shows where power is out throughout the utilities’ service area. FKEC also has a live outage viewer map where you can track the status of power outages.
What to know about H2O
There’s a lot to know about your home’s water before, during and after a hurricane. For instance, do you know where your water valve is located? Or how much water should you store for your family and you in the event water isn’t running through the pipes for days? Follow these tips from the island chain’s water provider, the Florida Keys Aqueduct Authority, to ensure you’re adequately prepared in times of a storm. For more information, visit fkaa.com or call 305-296-2454.
Shut off the home’s water valve (typically found on the exterior wall of the home). Some water heaters may also need to be shut off. Check with the manufacturer. Customers with a low pressure sewer system pump on their property are asked to shut off the breaker to their grinder pump (located in the dedicated electric box outside of the home).
For drinking and cooking, save enough water for seven to 10 days. Fill the bathtub and containers with water for non-drinking purposes.
If a notice is issued, disinfect your water by either boiling for one minute, adding one-eighth teaspoon of bleach per gallon or using purification tablets (purchase at outdoor retailers). Alerts will be issued to keep you informed.
Follow the Florida Keys Aqueduct Authority on Facebook, Fl Keys Aqueduct on X or visit fkaa.com. Register for priority calls at fkaa.com to receive neighborhood specific notices via phone, text and email.
Forecasters worldwide use short, distinctive names for tropical storms and hurricanes. The National Hurricane Center says the practice of naming storms is especially important when exchanging detailed weather information among hundreds of widely scattered weather stations, coastal bases and ships at sea.
Since the early 1950s, Atlantic tropical storms have been named from lists originated by the National Hurricane Center. The lists are used in rotation and recycled every six years (i.e., the 2024 list will be used again in 2030).
A list changes only if a storm is so deadly or costly that the future use of its name for a different storm would be inappropriate for reasons of sensitivity. Several storm names have been retired since the lists were created – you’ll never again see hurricanes with names like Katrina, Irma or Harvey, among others.
Another name on the retired list: Hurricane lan, a high-end Category 4 storm that skirted the Florida Keys. It inflicted some of its wrath on the Dry Tortugas before making landfall south of Punta Gorda on Sept. 28, 2022 with 150-mph winds – just shy of a Category 5 storm.
lan was responsible for more than 150 deaths and more than $112 billion in damage. It's the costliest hurricane in Florida's history and thirdcostliest in the U.S. The World Meteorological Organization (WMO) Hurricane Committee retired the name due to the death and destruction caused not only in southwestern Florida, but also in Cuba.
Alternates:
The naming system for hurricanes has changed over time, according to Jon Rizzo, warning coordination meteorologist for the National Weather Service in Key West. Traditionally, in a system overseen by the WMO, lists of male and female names were used in the six-year rotation. In the past, Greek letters were used to name storms after the list was exhausted in an active hurricane season. Today, that’s no longer the case. If a season exhausts its 21-name list, it can draw from an approved list of supplemental storm names for use in any season.
Use our boat tie-down service.
Whenever a threat exists during hurricane season, our service crew will strap down your boat until the threat has passed. CALL US TODAY TO SIGN UP!
Storm surge is often the greatest threat to life and property along the coast during and after a hurricane. A number of deaths from major hurricanes have resulted from the ocean’s rise due to storm surge.
Take Hurricane Katrina, for instance. Making landfall near New Orleans in 2005, Katrina was a prime example of how surge can cause damage and destruction. Some 1,500 people lost their lives during Katrina and many of those deaths occurred directly and indirectly from storm surge.
More recently, Hurricane Ian’s storm surge pushed 15 feet of water from the Gulf of Mexico to the normally dry areas of Fort Myers, Florida in 2022.
According to the National Hurricane Center, storm surge is the abnormal rise of water generated by a storm over and above the predicted astronomical tides. Storm tide is defined as the water level rise due to the combination of storm surge and astronomical tide.
The larger the storm, the higher the surge. This is due to stronger winds from larger storms pushing onto a larger area of the ocean. Those winds will stay around longer due to the storm’s size. The angle at which a storm approaches a coastline, winds and slope of the ocean bottom and coastline shape also contribute to surge from a given storm.
On the open coast, a faster storm will produce a higher surge. And higher surge is produced in bays, sounds and other enclosed bodies of water with a slower storm.
Look out for storm surge watches and warnings. A storm surge watch indicates the possibility of life-threatening, rising water moving inland from the shoreline within a specified area, generally within 48 hours of a storm’s arrival. The watch may be issued earlier when other conditions, such as the onset of tropical storm-force winds, are expected to limit the time available to take protective actions for surge (e.g., evacuations).
A storm surge warning is the likelihood of life-threatening water that’s rising and moving inland from the shoreline within a specified area within 36 hours of a storm’s arrival. A warning could be issued earlier when other conditions such as the onset of tropical storm force winds are expected to limit the time available to take protective actions for surge, like evacuations.
Storm surge evacuation orders from local emergency management officials should be heeded immediately. Storm surges can cause water to rise quickly.
Ask any local. Hurricane season blows.
Between every gust and shower reported through the regular media and all the opinions shared through social media, the subject is impossible to escape. With June 1 the beginning of hurricane season, it is that time of year when bottled water, canned goods, peanut butter and the three Cs – chips, cookies and crackers – are suddenly picked clean from grocery store shelves.
The 2024 hurricane season is forecast to be a busy one which, again, blows. One thing about this time of year is that every season is different and tells a unique story because, like snowflakes, Key lime pie and margaritas, no two storms are quite the same.
In 1966, Hurricane Inez was a powerful and long-lived storm that dealt the Florida Keys more than a glancing blow. The eye of the Category 4 hurricane made landfall on Key Largo before moving down the island chain to Key West as if it were driving along the Overseas Highway. All of the Keys connected by the highway experienced hurricane-force winds; the highest gust recorded on the mainland was 92 mph at Flamingo.
The 1987 hurricane season was the kind that people crossed their fingers for – quiet.
However, it did produce Hurricane Floyd, the only storm to make a U.S. landfall that year. It was also the first October hurricane to make a Florida landfall in 19 years. One of Floyd’s unusual storylines was that while the storm crossed the island chain first in the Lower Keys and then again in the Upper Keys, it was weak and disorganized.
Sustained hurricane-force winds were not recorded in the Keys, though gusts reaching up to 94 mph were reported. The Middle and Lower Keys did experience a minor storm surge, and Floyd spawned a tornado that whirled across Key Largo, causing about $100,000 in damage — about 20% of all the damage reported in Florida as a result of the storm. Five years later, the 1992 hurricane season told a very different story. Andrew was the big news and reached hurricane status on Aug. 22. Over the next 36 hours, it rapidly intensified to a Category 5 storm. At its peak, the storm raged with 175-mph sustained winds.
On Aug. 23, it crossed Eleuthera Island in the Bahamas as a strong Category 4 with sustained winds of 150 mph. Three deaths were attributed to the storm, and the island’s north end recorded 23 feet of storm surge.
As the storm crossed the Straits of Florida, it regained momentum and strengthened to a Category 5 storm. In the early morning of Aug. 24, Andrew made landfall at about 5 a.m. as a Category 4 hurricane with 145-mph winds. It was powerful, though a small, tightly wound storm that made landfall in the area of Homestead, bringing with it about 7 inches of rainfall and 9-16 feet of storm surge.
Except for the northern Keys and North Key Largo, the island chain was largely spared from the hurricane’s impact. Lancelot Jones, born in 1898 and living by himself on Porgy Key, several islands north of Key Largo, refused to abandon his family home. Fortunately, he was eventually evacuated. His family home was destroyed by the storm. In North Key Largo, the Anglers Club and Ocean Reef communities were also heavily damaged.
The storm moved quickly across the peninsula and, four hours later, blew over Marco Island and out into the Gulf of Mexico. The hurricane made an additional landfall in south central Louisiana. Andrew caused more than $20 billion to $25 billion in damage, making it the most expensive natural disaster in U.S. history at the time. In Florida alone, 15 deaths were recorded.
Obviously, we would not like to see Hurricane Andrew’s story repeated this year. We hope that the story told about the 2024 hurricane season will be more like Floyd’s — fingers crossed.
From new forecast graphics to extended weather outlooks, the National Hurricane Center is bringing new tools for local emergency officials and residents throughout Florida and other coastal states affected by storms.
When watches or warnings take effect in an area, this graphic will be released to show the peak storm surge, the water above normally dry land, forecasted following an advisory. According to the NHC, a graphic depicting the peak storm surge forecast will be released 15 minutes after an advisory.
The NHC provides a tropical weather outlook graphic showing potential tropical cyclone formation. Previously, the NHC provided a five-day outlook showing brewing storms. The NHC has extended the outlook to seven days to give residents and local officials more time to implement plans.
Previously, tropical storm, hurricane and storm surge watches and warnings could only be issued for the United States on full or special advisory packages. Full advisory packages are issued at 5 a.m., 11 a.m., 5 p.m., and 11 p.m. This year, NHC will be able to issue U.S. tropical cyclone watches and warnings with regular or intermediate public advisories. Changes to watches and warnings will be reflected in the tropical cyclone public advisory and coastal tropical wind watches and warnings will be reflected on the cone graphics issued with each regular or intermediate public advisory.
Beginning on or around Aug. 15, NHC will begin issuing an experimental version of the cone graphic with a depiction of inland tropical storm and hurricane watches and warnings in effect for the continental United States. The experimental cone graphic will be available at hurricanes.gov for both full and intermediate advisories. During the experimental phase, technical issues could affect the timeliness or availability of the graphic.
TACKLIFE T8 CAR JUMP STARTER
$69.95 | Walmart
Small but mighty, this power pack can bring a dead car battery back to life multiple times over. But that’s not all – USB outlets can charge up your phone, and a light in the device can function as a flashlight, strobe light, SOS indicator or red warning light. Adapters included in the kit allow the power pack to give juice to anything you can plug into a cigarette lighter. An absolute go-to for roadside troubles.
If this is your first hurricane season in the Keys, you might be overwhelmed by the endless suggestions for must-have items in your “hurricane kit.” It’s true that you can never be too prepared, but sometimes, it’s the little things that can make all the difference when running from a storm, coming back to the Keys, or navigating the post-hurricane landscape. Here are some gadgets that can help avoid or solve some of the problems that could arise.
GOAL ZERO YETI 1000 PORTABLE POWER STATION
$649 | Amazon
wide variety of power banks and solar generators, each with different sizes and capacities to fit unique situations.
TIRE PLUG KIT
Yeah, yeah, we know � a plug isn’t a permanent fix for a hole in your tire. But in a post-hurricane world where nails, glass and other pointy things litter the ground, this could make the difference between a day of recovery work lost and rolling on down the road in just a couple minutes. 1 2 4 3
OK, this one isn’t little, and it’s certainly not cheap – but it could be worth it anyway. Conventional gas generators are always at a premium after a storm, but this all-inone power station provides a cleaner option that can be used indoors, even for larger appliances like refrigerators. With optional add-on solar panels, the unit can recharge during the day and help keep the power on at night. Goal Zero and other similar companies offer a
LIFESTRAW
$19.95 | LifeStraw.com
In the immediate aftermath of a storm, boil water notices are highly likely. The LifeStraw can provide emergency drinking water in a pinch, filtering out viruses, bacteria, dirt and more. A single straw can filter up to 1,000 gallons of water before it’s time for a new one.
$14.99 | Advance Auto Parts
Secure solid w aste materials by placing them in a location aw ay from high w inds INCLUDING garbage and recycling containers.
Marathon Garbage Ser vice, Inc. is NOT responsible for lost containers.
Service may be suspended before a storm. M.G.S. w ill continue normal collection as scheduled until conditions become unsafe for our team members or w hen proper authorities instruct to suspend operations.
For the safety of our team members, collection w ill not resume until it is designated safe by Monroe County officials.
PLEASE CALL OUR OFFICE OR VISIT OUR WEBSITE FOR