Lots accts -124144-196499-131983-199668 Redmond - Property Development Package

Page 1

Subject Property: Tax Lot # 151316DB01700 (124144), 151316DB01701 (196499), 151316DA00405 (131983), 151316DB01703 (199668) |Redmond, Oregon | 97756 Prepared By: Danetta Rider 845 SW Veterans Way Redmond, OR 97760 Office: 541-527-1274 Email: danettar@deschutestitle.com “Service is the Difference” Property Development Packet DISCLAIMER: Deschutes County Title has provided this information as a courtesy and assumes no liability for errors, omissions, or the accuracy of the data and does not warranty the fitness of this product for any particular purpose. Bend 397 SW Upper Terrace Dr Bend, Oregon 97702 Office: 541.389.2120 Fax: 541.389.2180 Redmond 845 SW Veterans Way Redmond, Oregon 97756 Office: 541.527.1274 Fax: 541.527.1281 La Pine 51515 Huntington Rd La Pine, Oregon 97739 Office: 541.876.6990 Fax: 541.876.2740 St Helens 240 South First Street St. Helens, Oregon 97051 Office: 503.397.2587 Fax: 503.366.1708 Prepared for Jeff Casserly jeff@yourcentraloregonbroker.com 541-550-6656
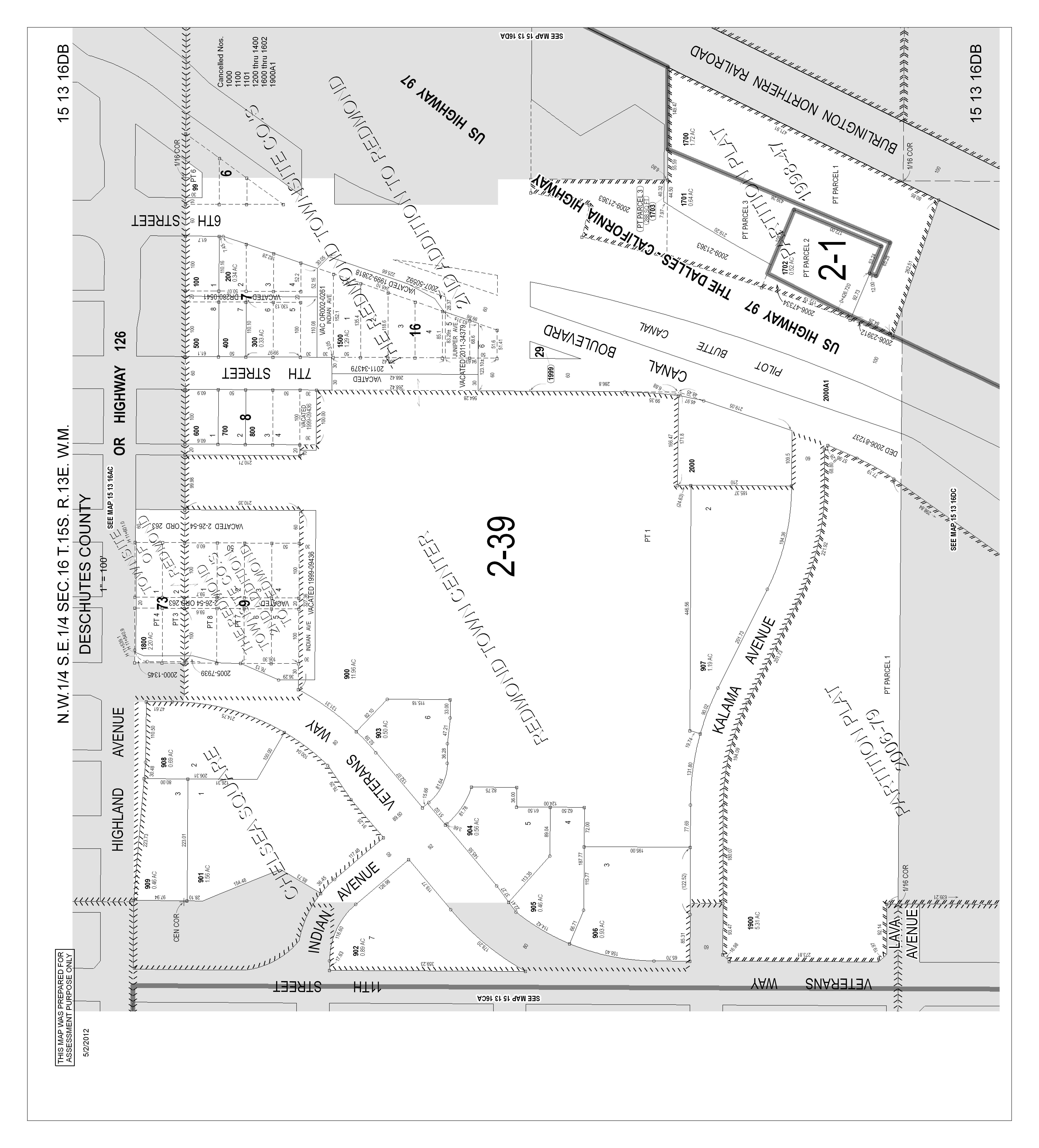
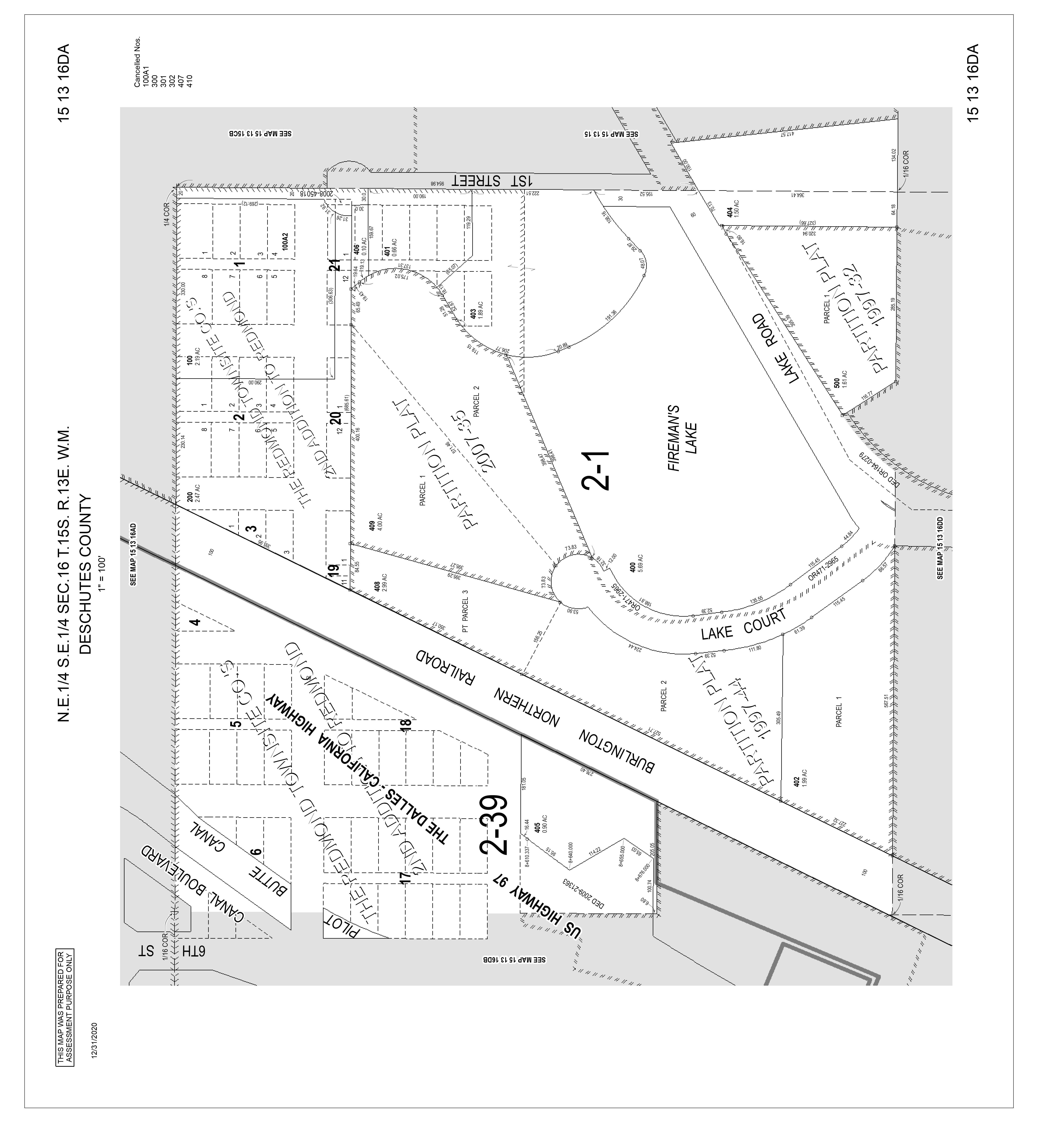
01700 01703 00405 01701 S Hwy 97 Sw 6th St SbHwy 97 NbHwy 97 Aeri al Map 4 Lots S Hwy 9 7 Redm ond BEND LA PIN E SISTERS REDMOND SUNR IVER 20 97 126 20 20 97 Map Data is deemed reliable but not guaranteed Deschutes County Tit e accepts no respons bility for accuracy 0 110 220 55 Feet 151316-DB-01700 151316-DB-01701 151316-DA-00405 151316-DB-01703

DESCHUTESCOUNTYPROPERTYPROFILEINFORMATION

Parcel#:124144

TaxLot:151316DB01700

Owner:LindsayMMicklesTrust

CoOwner: Site: RedmondOR97756

Mail:POBox2598

PetalumaCA94953

LandUse:200-Commercial-Vacant

StdLandUse:CMSC-CommercialMiscellaneous

Legal:

Twn/Rng/Sec:T:15SR:13ES:16Q:SEQQ:NW

ASSESSMENT&TAXINFORMATION

MarketTotal:$1,046,580.00

MarketLand:$1,046,580.00

MarketImpr:

AssessmentYear:2021

AssessedTotal:$430,370.00

Exemption:

Taxes:$8,245.07

LevyCode:2-001

LevyRate:19.1581

SALE&LOANINFORMATION

SaleDate:11/20/2003

SaleAmount:$338,00000

Document#:80264

DeedType:Deed

LoanAmount:

Lender:

LoanType:

InterestType:

TitleCo:FIRSTAMERICANTITLEINSCO/OR

SentryDynamics,Inc

PROPERTYCHARACTERISTICS

YearBuilt:

EffYearBuilt:

Bedrooms:

Bathrooms:

#ofStories:

TotalSqFt:

Floor1SqFt:

Floor2SqFt:

BasementSqFt:

Lotsize:1.72Acres(74,923SqFt)

GarageSqFt:

GarageType:

AC:

Pool:

HeatSource: Fireplace:

BldgCondition:

Neighborhood:000

Lot:

Block:

Plat/Subdiv:Redmond2ndAdd

Zoning:C1-StripServiceCommercial

SchoolDist:2J-Redmond

Census:1022-000900

Recreation:

anditscustomersmakenorepresentations,warrantiesorconditions,expressorimplied,astotheaccuracyorcompletenessofinformationcontainedinthis report

DESCHUTESCOUNTYPROPERTYPROFILEINFORMATION

Parcel#:196499

TaxLot:151316DB01701

Owner:LindsayMMicklesTrust

CoOwner: Site: RedmondOR97756

Mail:POBox2598

PetalumaCA94953

LandUse:200-Commercial-Vacant

StdLandUse:CMSC-CommercialMiscellaneous

Legal:

Twn/Rng/Sec:T:15SR:13ES:16Q:SEQQ:NW

ASSESSMENT&TAXINFORMATION

MarketTotal:$186,530.00

MarketLand:$186,530.00

MarketImpr:

AssessmentYear:2021

AssessedTotal:$117,560.00

Exemption:

Taxes:$2,252.21

LevyCode:2-039

LevyRate:19.1581

SALE&LOANINFORMATION

SaleDate:06/03/2009

SaleAmount:$440,00000

Document#:23349

DeedType:Deed

LoanAmount:

Lender:

LoanType:

InterestType:

TitleCo:FIRSTAMERICANTITLE

PROPERTYCHARACTERISTICS

YearBuilt:

EffYearBuilt:

Bedrooms:

Bathrooms:

#ofStories:

TotalSqFt:

Floor1SqFt:

Floor2SqFt:

BasementSqFt:

Lotsize:0.64Acres(27,878SqFt)

GarageSqFt:

GarageType:

AC:

Pool:

HeatSource: Fireplace:

BldgCondition:

Neighborhood:000

Lot:

Block:

Plat/Subdiv:Redmond2ndAdd

Zoning:C1-StripServiceCommercial

SchoolDist:2J-Redmond

Census:1022-000900

Recreation:

SentryDynamics,Inc anditscustomersmakenorepresentations,warrantiesorconditions,expressorimplied,astotheaccuracyorcompletenessofinformationcontainedinthis report

DESCHUTESCOUNTYPROPERTYPROFILEINFORMATION

Parcel#:131983

TaxLot:151316DA00405

Owner:LindsayMMicklesTrust

CoOwner:

Site:550SWJuniperAve

RedmondOR97756

Mail:POBox2598

PetalumaCA94953

LandUse:200-Commercial-Vacant

StdLandUse:CMSC-CommercialMiscellaneous

Legal:

Twn/Rng/Sec:T:15SR:13ES:16Q:SEQQ:NE

ASSESSMENT&TAXINFORMATION

MarketTotal:$262,230.00

MarketLand:$262,230.00

MarketImpr:

AssessmentYear:2021

AssessedTotal:$165,320.00

Exemption:

Taxes:$3,167.23

LevyCode:2-039

LevyRate:19.1581

SALE&LOANINFORMATION

SaleDate:05/29/2009

SaleAmount:$440,00000

Document#:2009-23349

DeedType:Deed

LoanAmount:

Lender:

LoanType:

InterestType: TitleCo:

SentryDynamics,Inc

PROPERTYCHARACTERISTICS

YearBuilt:

EffYearBuilt:

Bedrooms:

Bathrooms:

#ofStories:

TotalSqFt:

Floor1SqFt:

Floor2SqFt:

BasementSqFt:

Lotsize:0.90Acres(39,204SqFt)

GarageSqFt:

GarageType:

AC:

Pool:

HeatSource:

Fireplace:

BldgCondition:

Neighborhood:000

Lot:

Block:

Plat/Subdiv:Redmond2ndAdd

Zoning:C1-StripServiceCommercial

SchoolDist:2J-Redmond

Census:1022-000900

Recreation:

anditscustomersmakenorepresentations,warrantiesorconditions,expressorimplied,astotheaccuracyorcompletenessofinformationcontainedinthis report

DESCHUTESCOUNTYPROPERTYPROFILEINFORMATION

Parcel#:199668

TaxLot:151316DB01703

Owner:LindsayMMicklesTrust

CoOwner:

Site: RedmondOR97756

Mail:POBox2598

PetalumaCA94953

LandUse:200-Commercial-Vacant

StdLandUse:CMSC-CommercialMiscellaneous

Legal:

Twn/Rng/Sec:T:15SR:13ES:16Q:SEQQ:NW

ASSESSMENT&TAXINFORMATION

MarketTotal:$920.00

MarketLand:$920.00

MarketImpr:

AssessmentYear:2021

AssessedTotal:$530.00

Exemption:

Taxes:$10.15

LevyCode:2-001

LevyRate:19.1581

SALE&LOANINFORMATION

SaleDate:05/29/2009

SaleAmount:$440,00000

Document#:2009-23349

DeedType:BARGAIN&SALE

LoanAmount:

Lender:

LoanType:

InterestType: TitleCo:

SentryDynamics,Inc

PROPERTYCHARACTERISTICS

YearBuilt:

EffYearBuilt:

Bedrooms:

Bathrooms:

#ofStories:

TotalSqFt:

Floor1SqFt:

Floor2SqFt:

BasementSqFt:

Lotsize:0.01Acres(436SqFt)

GarageSqFt:

GarageType:

AC:

Pool:

HeatSource:

Fireplace:

BldgCondition:

Neighborhood:000

Lot:

Block:

Plat/Subdiv:Redmond2ndAdd

Zoning:C1-StripServiceCommercial

SchoolDist:2J-Redmond

Census:1022-000900

Recreation:

anditscustomersmakenorepresentations,warrantiesorconditions,expressorimplied,astotheaccuracyorcompletenessofinformationcontainedinthis report

Deschutes County Property Information

Report Date: 7/14/2023 2:51:05 PM

Disclaimer

The information and maps presented in this report are provided for your convenience. Every reasonable effort has been made to assure the accuracy of the data and associated maps. Deschutes County makes no warranty, representation or guarantee as to the content, sequence, accuracy, timeliness or completeness of any of the data provided herein. Deschutes County explicitly disclaims any representations and warranties, including, without limitation, the implied warranties of merchantability and fitness for a particular purpose. Deschutes County shall assume no liability for any errors, omissions, or inaccuracies in the information provided regardless of how caused. Deschutes County assumes no liability for any decisions made or actions taken or not taken by the user of this information or data furnished hereunder.

Account Summary

Account Information Ownership

Mailing Address: Map and Taxlot: Account:

LINDSAY M MICKLES TRUST, PO BOX 2598

PETALUMA, CA 94953

Situs Address:

Subdivision:

Lot:

Block:

Property Class: 200 -- COMMERCIAL

Warnings, Notations, and Special Assessments

Land Structures Total $1,046,580

Current Assessed Values:

Maximum Assessed

Assessed Value

Real Market Values as of Jan. 1, 2022 $430,370 $430,370

Veterans Exemption

Review of digital records maintained by the Deschutes County Assessor’s Office, Tax Office, Finance Office, and the Community Development Department indicates that there are no special tax, assessment or property development related notations associated with this account. However, independent verification of the presence of other Deschutes County tax, assessment, development, and additional property related considerations is recommended. Confirmation is commonly provided by title companies, real estate agents, developers, engineering and surveying firms, and other parties who are involved in property transactions or property development. In addition, County departments may be contacted directly to discuss the information.

Assessable
Mailing Name: Tax Status: 151316DB01700 124144 **NO SITUS ADDRESS** LINDSAY M MICKLES TRUST,
Assessment Tax Code
Current
$8,245.07
Assessor Acres: Property Taxes
Area:
Tax Year: 2001
1.72
$0
Valuation $1,046,580
2018 - 2019 2019 - 2020 2020 - 2021 2021 - 2022 2022 - 2023 Real Market Value - Land $684,760 $712,150 $733,510 $902,220 $1,046,580 Real Market Value - Structures $0 $0 $0 $0 $0 Total Real Market Value $684,760 $712,150 $733,510 $902,220 $1,046,580 Maximum Assessed Value $382,390 $393,860 $405,670 $417,840 $430,370 Total Assessed Value $382,390 $393,860 $405,670 $417,840 $430,370 Veterans Exemption $0 $0 $0 $0 $0 Valuation History All values are as of January 1 of each year. Tax year is July 1st through June 30th of each year. Deschutes County Property Information Report, page 1

Tax Payment History

Sales

Year Date Due Transaction Type Transaction Date As Of Date Amount Received Tax Due Discount Amount Interest Charged Refund Interest 2022 11-15-2022 PAYMENT 11-02-2022 11-02-2022 $7,997.72 ($8,245.07) $247.35 $0.00 $0.00 2022 11-15-2022 IMPOSED 10-12-2022 11-15-2022 $0.00 $8,245.07 $0.00 $0.00 $0.00 Total: $0.00 2021 11-15-2021 PAYMENT 11-03-2021 11-03-2021 $7,501.30 ($7,733.30) $232.00 $0.00 $0.00 2021 11-15-2021 IMPOSED 10-11-2021 11-15-2021 $0.00 $7,733.30 $0.00 $0.00 $0.00 Total: $0.00 2020 11-15-2020 PAYMENT 10-30-2020 10-30-2020 $7,162.15 ($7,383.66) $221.51 $0.00 $0.00 2020 11-15-2020 IMPOSED 10-09-2020 11-15-2020 $0.00 $7,383.66 $0.00 $0.00 $0.00 Total: $0.00
Sale Date Seller Buyer Sale Amount Sale Type Recording Instrument 11/20/2003 BUGGSI INC, LINDSAY M MICKLES TRUST, $338,000 30-UNCONFIRMED SALE 2003-80264 07/12/1995 SCHROEDER,VICTOR M & JANE F BUGGSI INC, $220,000 15-OLD SALE OR DATE MISSING 2003-80263 07/12/1995 SCHROEDER,VICTOR M BUGGSI INC $220,000 33-CONFIRMED SALE 1995-3790997 05/15/1995 SCHROEDER,VICTOR R PERS REP ESTATE OF ES SCHROEDER,VICTOR M $100,000 12-DEED RESULTING FROM CONTRACT BEING PAID 1995-3741955
Structures Found. Deschutes County Property Information Report, page 2 (For Report Disclaimer see page 1)
History No

Land Characteristics

Ownership

Service Providers Please contact districts to confirm.

Development Summary

Land Description Acres Land Classification Commercial Lot 1.72
Name Type Name Ownership Type Ownership Percentage OWNER LINDSAY M MICKLES TRUST, OWNER 100.00% Category Name Phone Address COUNTY SERVICES DESCHUTES COUNTY (541) 388-6570 1300 NW WALL ST, BEND, OR 97703 FIRE DISTRICT REDMOND FIRE AND RESCUE (541) 504-5000 341 NW DOGWOOD AVE, REDMOND, OR 97756 SCHOOL DISTRICT REDMOND SCHOOL DISTRICT (541) 923-5437 145 SE SALMON AVE, REDMOND, OR 97756 ELEMENTARY SCHOOL ATTENDANCE AREA M. A. LYNCH ELEMENTARY SCHOOL (541) 923-4876 1314 SW KALAMA, REDMOND, OR 97756 MIDDLE SCHOOL ATTENDANCE AREA OBSIDIAN MIDDLE SCHOOL (541) 923-4900 1335 SW OBSIDIAN, REDMOND, OR 97756 HIGH SCHOOL ATTENDANCE AREA RIDGEVIEW HIGH SCHOOL (541) 504-3600 4555 SW ELKHORN AVE, REDMOND, OR 97756 EDUCATION SERVICE TAX DISTRICT HIGH DESERT EDUCATION SERVICE DISTRICT (541) 693-5600 145 SE SALMON AVE, REDMOND, OR 97756 COLLEGE TAX DISTRICT CENTRAL OREGON COMMUNITY COLLEGE (541) 383-7700 2600 NW COLLEGE WAY, BEND, OR 97703 PARK & RECREATION DISTRICT REDMOND AREA PARK & RECREATION DISTRICT (541) 548-7275 465 SW RIMROCK DR, REDMOND, OR 97756 LIBRARY DISTRICT DESCHUTES PUBLIC LIBRARY (541) 617-7050 601 NW WALL ST, BEND, OR 97703 WATER SERVICE PROVIDER REDMOND WATER DEPARTMENT (541) 504-2000 423 E ANTLER AVE #100, REDMOND, OR 97756 IRRIGATION DISTRICT CENTRAL OREGON IRRIGATION DISTRICT (541) 548-6047 1055 SW LAKE CT, REDMOND, OR 97756 GARBAGE & RECYCLING SERVICE HIGH COUNTRY DISPOSAL (541) 548-4984 1090 NE HEMLOCK AVE, REDMOND, OR 97756
Jurisdiction City Zoning Description Redmond C1 STRIP SERVICE COMMERICALREDMOND UGB Redmond C2 CENTRAL BUSINESS DIST. COMMERCIAL - REDMOND UGB City of Redmond Permits Permit ID Permit Type Applicant Application Date Status 711-B98-845001 Building 06/04/1998 Finaled 711-B00-111001 Building 01/05/2000 Finaled 711-E98-845004 Electrical 06/04/1998 Finaled 711-E98-845005 Electrical 06/04/1998 Finaled 711-E98-845006 Electrical 06/04/1998 Finaled 711-E00-123801 Electrical 02/24/2000 Finaled 711-E00-111002 Electrical 01/05/2000 Finaled 711-M98-845003 Mechanical 06/04/1998 Finaled 711-P98-845002 Plumbing 06/04/1998 Finaled 711-P98-845007 Plumbing 06/04/1998 Finaled
Planning Jursidiction: Urban Reserve Area: Urban Growth Boundary: Redmond No Redmond 711-B00-111001 Permit Number: 01/05/2000 Application Date: Finaled Status: Building Permit Details Permit Detail Deschutes County Property Information Report, page 3 (For Report Disclaimer see page 1)
Permit Name: Contractor: 01/26/2000 Issue Date: Final Date: Commercial Building Class: Class of Work: 1 4X30 WEST ELEV SIG - IVR NUMBER = 711900011734 ~ IVR PHONE = 1-888-299-2821 Building Use: Square Feet: Bedrooms: Stories: On Sewer: $0 Permit Valuation: Inspections
inspection
711-B98-845001 Permit Number: Permit Name: Contractor: 06/04/1998 Application Date: 09/03/1998 Issue Date: Final Date: Finaled Status: Building Permit Details Commercial Building Class: Class of Work: 300,000 VAL - IVR NUMBER = 711900007681 ~ IVR PHONE = 1-888-299-2821 Building Use: Square Feet: Bedrooms: Stories: On Sewer: $300,000 Permit Valuation: Inspections
inspection
711-E00-123801 Permit Number: Permit Name: Contractor: 02/24/2000 Application Date: 02/24/2000 Issue Date: Final Date: Finaled Status: Commercial Building Class: Class of Work: BRANCH CIRCUIT - IVR NUMBER = 711900012044 ~ IVR PHONE = 1-888299-2821 Building Use: Linked Permit: Electrical Permit Details Service Description: Inspections No inspection records found. 711-E00-111002 Permit Number: Permit Name: Contractor: 01/05/2000 Application Date: 01/26/2000 Issue Date: Final Date: Finaled Status: Commercial Building Class: Class of Work: SCHUCK'S SIGN - IVR NUMBER = 711900011735 ~ IVR PHONE = 1-888299-2821 Building Use: Linked Permit: Electrical Permit Details Service Description: Inspections No inspection records found. Deschutes County Property Information Report, page 4 (For Report Disclaimer see page 1)
No
records found.
No
records found.
711-E98-845004 Permit Number: Permit Name: Contractor: 06/04/1998 Application Date: 09/03/1998 Issue Date: Final Date: Finaled Status: Commercial Building Class: Class of Work: TEMPORARY SERVICE - IVR NUMBER = 711900007683 ~ IVR PHONE = 1 -888-299-2821 Building Use: Linked Permit: Electrical Permit Details Service Description: Inspections No inspection records found. 711-E98-845005 Permit Number: Permit Name: Contractor: 06/04/1998 Application Date: 10/06/1998 Issue Date: Final Date: Finaled Status: Commercial Building Class: Class of Work: GRAND AUTO SUPPLY - IVR NUMBER = 711900007684 ~ IVR PHONE = 1 -888-299-2821 Building Use: Linked Permit: Electrical Permit Details Service Description: Inspections No inspection records found. 711-E98-845006 Permit Number: Permit Name: Contractor: 06/04/1998 Application Date: 10/22/1998 Issue Date: Final Date: Finaled Status: Commercial Building Class: Class of Work: LOW VOLT:LANDSCAPING - IVR NUMBER = 711900007685 ~ IVR PHONE = 1-888-299-2821 Building Use: Linked Permit: Electrical Permit Details Service Description: Inspections No inspection records found. 711-M98-845003 Permit Number: Permit Name: Contractor: 06/04/1998 Application Date: 09/03/1998 Issue Date: Final Date: Finaled Status: Commercial Building Class: Class of Work: Building Use: Linked Permit: Mechanical Permit Details Service Description: Deschutes County Property Information Report, page 5 (For Report Disclaimer see page 1)
Inspections
inspection
711-P98-845002 Permit Number: Permit Name: Contractor: 06/04/1998 Application Date: 09/03/1998 Issue Date: Final Date: Finaled Status: Commercial Building Class: Class of Work: Linked Permit: Plumbing Permit Details Service Description: Inspections No inspection records found. 711-P98-845007 Permit Number: Permit Name: Contractor: 06/04/1998 Application Date: 10/22/1998 Issue Date: Final Date: Finaled Status: Commercial Building Class: Class of Work: Linked Permit: Plumbing Permit Details Service Description: Inspections No inspection records found. 000 09 2 200 -- COMMERCIAL Neighborhood: Study Area: Maintenance Area: Property Class: Subdivision: Lot: Block: Legal Description: Assessor's Office Supplemental Information Deschutes County Property Information Report, page 6 (For Report Disclaimer see page 1)
No
records found.

STATEMENT OF TAX ACCOUNT

2022 ADVALOREM $0.00 $0.00 $0.00 $0.00 $8,245.07 Nov 15, 2022 2021 ADVALOREM $0.00 $0.00 $0.00 $0.00 $7,733.30 Nov 15, 2021 2020 ADVALOREM $0.00 $0.00 $0.00 $0.00 $7,383.66 Nov 15, 2020 2019 ADVALOREM $0.00 $0.00 $0.00 $0.00 $7,061.05 Nov 15, 2019 2018 ADVALOREM $0.00 $0.00 $0.00 $0.00 $6,885.20 Nov 15, 2018 2017 ADVALOREM $0.00 $0.00 $0.00 $0.00 $6,721.55 Nov 15, 2017 2016 ADVALOREM $0.00 $0.00 $0.00 $0.00 $6,628.72 Nov 15, 2016 2015 ADVALOREM $0.00 $0.00 $0.00 $0.00 $6,426.25 Nov 15, 2015 2014 ADVALOREM $0.00 $0.00 $0.00 $0.00 $6,256.88 Nov 15, 2014 2013 ADVALOREM $0.00 $0.00 $0.00 $0.00 $6,081.81 Nov 15, 2013 2012 ADVALOREM $0.00 $0.00 $0.00 $0.00 $6,039.36 Nov 15, 2012 2011 ADVALOREM $0.00 $0.00 $0.00 $0.00 $5,755.00 Nov 15, 2011 2010 ADVALOREM $0.00 $0.00 $0.00 $0.00 $5,544.63 Nov 15, 2010 2009 ADVALOREM $0.00 $0.00 $0.00 $0.00 $5,458.82 Nov 15, 2009 2008 ADVALOREM $0.00 $0.00 $0.00 $0.00 $4,871.10 Nov 15, 2008 2007 ADVALOREM $0.00 $0.00 $0.00 $0.00 $4,698.15 Nov 15, 2007 2006 ADVALOREM $0.00 $0.00 $0.00 $0.00 $4,674.54 Nov 15, 2006 2005 ADVALOREM $0.00 $0.00 $0.00 $0.00 $4,674.17 Nov 15, 2005 2004 ADVALOREM $0.00 $0.00 $0.00 $0.00 $4,565.81 Nov 15, 2004 2003 ADVALOREM $0.00 $0.00 $0.00 $0.00 $4,530.18 Nov 15, 2003 2002 ADVALOREM $0.00 $0.00 $0.00 $0.00 $4,522.71 Nov 15, 2002 2001 ADVALOREM $0.00 $0.00 $0.00 $0.00 $4,357.23 Nov 15, 2001 2000 ADVALOREM $0.00 $0.00 $0.00 $0.00 $4,262.25 Nov 15, 2000 1999 ADVALOREM $0.00 $0.00 $0.00 $0.00 $4,190.03 Nov 15, 1999 1998 ADVALOREM $0.00 $0.00 $0.00 $0.00 $1,558.77 Nov 15, 1998 1997 ADVALOREM $0.00 $0.00 $0.00 $0.00 $1,517.56 Dec 15, 1997 1996 ADVALOREM $0.00 $0.00 $0.00 $0.00 $1,909.20 Nov 15, 1996 1995 ADVALOREM $0.00 $0.00 $0.00 $0.00 $1,459.42 Nov 15, 1995
DESCHUTES COUNTY TAX COLLECTOR DESCHUTES SERVICES BUILDING BEND OR 97703 (541) 388-6540 14-Jul-2023 124144 Tax Account # Account Status Roll Type Situs Address A Real Tax Summary Tax Year Tax Type Total Due Current Due Interest Due Discount Available Original Due Due Date 2001 Jul 14, 2023 Lender Name Loan Number Property ID Interest To $0.00 $0.00 $0.00 $0.00 Total Deschutes County Property Information Report, page 7 (For Report Disclaimer see page 1)

REAL PROPERTY TAX STATEMENT

JULY 1, 2022 TO JUNE 30, 2023

DESCHUTES COUNTY, OREGON - 1300 NW WALL ST STE 203, BEND, OR 97703

TAX BY DISTRICT

TAX ACCOUNT: 124144

PROPERTY DESCRIPTION

LEGAL:

Full Payment with 3% Discount

Discount is lost after due date and interest may apply PAYMENT OPTIONS: * Online * By Mail to Deschutes County Tax, PO Box 7559 Bend OR 97708-7559

* Drop Box located at 1300 NW Wall Street, Bend or 411 SW 9th Street, Redmond

For Property Information: dial.deschutes.org

Please include this coupon with payment. Please do not staple, paper clip or tape your payment.

Please select payment option

Full Payment (3% Discount)

No Additional Payment Due

Two-Thirds Payment (2% Discount)

Next Payment Due

One-Third Payment (No Discount)

Next Payment Due

Payment Due November 15, 2022

TAX ACCOUNT: 124144

LINDSAY M MICKLES TRUST, PO BOX 2598 PETALUMA CA 94953

AMOUNT ENCLOSED $

Please make checks payable to Deschutes County Tax Collector

Change my Mailing Address

(Mailing address change form on reverse)

Deschutes County Tax Collector PO Box 7559 Bend OR 97708-7559

ADDRESS: MAP: 200 CLASS: 151316-DB-01700
VALUES: REAL MARKET
LAND STRUCTURES TOTAL RMV TOTAL ASSESSED VALUE VETERAN'S EXEMPTION NET TAXABLE: TOTAL PROPERTY TAX: LAST YEAR THIS YEAR 902,220 0 902,220 1,046,580 0 1,046,580 417,840 0 417,840 7,733.30 430,370 0 430,370 8,245.07 TAX QUESTIONS ASSESSMENT QUESTIONS (541) 388-6540 (541) 388-6508
SITUS
CODE: 2001
(RMV)
$7,997.72
05/15/23 02/15/23 $2,748.36 $5,386.78 $7,997.72
09100001241440000274836000053867800007997725 430,370 417,840 MAXIMUM ASSESSED VALUE
LINDSAY M MICKLES TRUST, PO BOX 2598 PETALUMA CA 94953
* In
Person 1300 NW Wall Street, Ste 203, Bend (2nd Floor)
www.deschutes.org/tax SCHOOL DISTRICT #2J 2,005.27 C O C C 247.59 HIGH DESERT ESD 38.52 EDUCATION TOTAL: 2,291.38 DESCHUTES COUNTY 486.19 COUNTY LIBRARY 219.53 COUNTYWIDE LAW ENFORCEMENT 419.05 COUNTY EXTENSION/4H 8.99 9-1-1 144.39 CITY OF REDMOND 1,759.83 REDMOND DWNTWN URBAN RENEWAL 412.68 REDMOND SOUTH 97 URBAN RENEWAL 71.87 REDMOND FIRE & RESCUE 700.04 REDMOND FIRE & RESCUE LOCAL OPTION 116.20 REDMOND AREA PARK & REC DISTRICT 148.35 GENERAL GOVT TOTAL: 4,487.12 COUNTY LIBRARY BOND 145.21 CITY OF REDMOND BOND 2022 311.24 SCHOOL #2J BOND 2004 322.86 SCHOOL #2J BOND 2008 553.89 SCHOOL #2J BOND 2021 100.36 C O C C BOND 33.01 BONDS - OTHER TOTAL: 1,466.57 Deschutes County Property Information Report, page 8 (For Report Disclaimer see page 1)
Deschutes County Property Information Report, page 9 (For Report Disclaimer see page 1)
De sc h u te s C o u n ty GIS De sc hu t es Cou nt y P rop er t y I nf orm at i on - Di al Roa d Map Map and Ta x l ot: 151 31 6D B 01700 Deschutes County Property Information Report, page 10 (For Report Disclaimer see page 1)

Deschutes County Property Information

Report Date: 7/17/2023 1:16:47 PM

Disclaimer

The information and maps presented in this report are provided for your convenience. Every reasonable effort has been made to assure the accuracy of the data and associated maps. Deschutes County makes no warranty, representation or guarantee as to the content, sequence, accuracy, timeliness or completeness of any of the data provided herein. Deschutes County explicitly disclaims any representations and warranties, including, without limitation, the implied warranties of merchantability and fitness for a particular purpose. Deschutes County shall assume no liability for any errors, omissions, or inaccuracies in the information provided regardless of how caused. Deschutes County assumes no liability for any decisions made or actions taken or not taken by the user of this information or data furnished hereunder.

Account Summary

Subdivision:

Lot:

Block:

Property Class: 200 -- COMMERCIAL

Warnings, Notations, and Special Assessments

Mailing Address:

LINDSAY M MICKLES TRUST PO BOX 2598

PETALUMA, CA 94953

Current Assessed Values:

Maximum Assessed Assessed Value

Real Market Values as of Jan. 1, 2022 $117,560 $117,560

Veterans Exemption

Review of digital records maintained by the Deschutes County Assessor’s Office, Tax Office, Finance Office, and the Community Development Department indicates that there are no special tax, assessment or property development related notations associated with this account. However, independent verification of the presence of other Deschutes County tax, assessment, development, and additional property related considerations is recommended. Confirmation is commonly provided by title companies, real estate agents, developers, engineering and surveying firms, and other parties who are involved in property transactions or property development. In addition, County departments may be contacted directly to discuss the information.

Account Information Ownership
Map
Tax
151316DB01701 196499 **NO SITUS ADDRESS** LINDSAY
MICKLES
Assessable
Acres: Property Taxes Assessment Tax Code Area: Current Tax Year: 2039 $2,252.21 0.64
$186,530 $0
and Taxlot: Account: Situs Address: Mailing Name:
Status:
M
TRUST
Assessor
Valuation
Land Structures Total $186,530
2018 - 2019 2019 - 2020 2020 - 2021 2021 - 2022 2022 - 2023 Real Market Value - Land $122,040 $126,920 $130,730 $160,800 $186,530 Real Market Value - Structures $0 $0 $0 $0 $0 Total Real Market Value $122,040 $126,920 $130,730 $160,800 $186,530 Maximum Assessed Value $104,470 $107,600 $110,820 $114,140 $117,560 Total Assessed Value $104,470 $107,600 $110,820 $114,140 $117,560 Veterans Exemption $0 $0 $0 $0 $0 Valuation History All values are as of January 1 of each year. Tax year is July 1st through June 30th of each year. Deschutes County Property Information Report, page 1

Tax Payment History

Sales History

No Structures Found.

Year Date Due Transaction Type Transaction Date As Of Date Amount Received Tax Due Discount Amount Interest Charged Refund Interest 2022 11-15-2022 PAYMENT 11-02-2022 11-02-2022 $2,184.64 ($2,252.21) $67.57 $0.00 $0.00 2022 11-15-2022 IMPOSED 10-12-2022 11-15-2022 $0.00 $2,252.21 $0.00 $0.00 $0.00 Total: $0.00 2021 11-15-2021 PAYMENT 11-03-2021 11-03-2021 $2,049.11 ($2,112.48) $63.37 $0.00 $0.00 2021 11-15-2021 IMPOSED 10-11-2021 11-15-2021 $0.00 $2,112.48 $0.00 $0.00 $0.00 Total: $0.00 2020 11-15-2020 PAYMENT 10-30-2020 10-30-2020 $1,956.54 ($2,017.05) $60.51 $0.00 $0.00 2020 11-15-2020 IMPOSED 10-09-2020 11-15-2020 $0.00 $2,017.05 $0.00 $0.00 $0.00 Total: $0.00
Sale Date Seller Buyer Sale Amount Sale Type Recording Instrument 05/29/2009 CITY OF REDMOND MICKLES, LINDSAY M TTEE $440,000 03-GRANTOR/GRANTEE IS A POLITICAL SUBDIVISION 2009-23349 11/02/2000 SCHROEDER,VICTOR M BUGGSI INC $10,000 12-DEED RESULTING FROM CONTRACT BEING PAID 2000-44841 10/27/2000 CITY OF REDMOND CITY OF REDMOND $317,967 14-RERECORDING/OTHER/CONSID ERATION UNDER $500 2000-45368 10/27/2000 BUGGSI INC CITY OF REDMOND $317,967 03-GRANTOR/GRANTEE IS A POLITICAL SUBDIVISION 2000-44154
Deschutes County Property Information Report, page 2 (For Report Disclaimer see page 1)

Land Characteristics

Ownership

Service Providers Please contact districts to confirm.

Development Summary

Land Description Acres Land Classification Commercial Lot 0.64
Name Type Name Ownership Type Ownership Percentage OWNER LINDSAY M MICKLES TRUST, OWNER 100.00% REPRESENTATIVE MICKLES, LINDSAYM OWNER AS TRUSTEE Category Name Phone Address COUNTY SERVICES DESCHUTES COUNTY (541) 388-6570 1300 NW WALL ST, BEND, OR 97703 FIRE DISTRICT REDMOND FIRE AND RESCUE (541) 504-5000 341 NW DOGWOOD AVE, REDMOND, OR 97756 SCHOOL DISTRICT REDMOND SCHOOL DISTRICT (541) 923-5437 145 SE SALMON AVE, REDMOND, OR 97756 ELEMENTARY SCHOOL ATTENDANCE AREA M. A. LYNCH ELEMENTARY SCHOOL (541) 923-4876 1314 SW KALAMA, REDMOND, OR 97756 MIDDLE SCHOOL ATTENDANCE AREA OBSIDIAN MIDDLE SCHOOL (541) 923-4900 1335 SW OBSIDIAN, REDMOND, OR 97756 HIGH SCHOOL ATTENDANCE AREA RIDGEVIEW HIGH SCHOOL (541) 504-3600 4555 SW ELKHORN AVE, REDMOND, OR 97756 EDUCATION SERVICE TAX DISTRICT HIGH DESERT EDUCATION SERVICE DISTRICT (541) 693-5600 145 SE SALMON AVE, REDMOND, OR 97756 COLLEGE TAX DISTRICT CENTRAL OREGON COMMUNITY COLLEGE (541) 383-7700 2600 NW COLLEGE WAY, BEND, OR 97703 PARK & RECREATION DISTRICT REDMOND AREA PARK & RECREATION DISTRICT (541) 548-7275 465 SW RIMROCK DR, REDMOND, OR 97756 LIBRARY DISTRICT DESCHUTES PUBLIC LIBRARY (541) 617-7050 601 NW WALL ST, BEND, OR 97703 WATER SERVICE PROVIDER REDMOND WATER DEPARTMENT (541) 504-2000 423 E ANTLER AVE #100, REDMOND, OR 97756 IRRIGATION DISTRICT CENTRAL OREGON IRRIGATION DISTRICT (541) 548-6047 1055 SW LAKE CT, REDMOND, OR 97756 GARBAGE & RECYCLING SERVICE HIGH COUNTRY DISPOSAL (541) 548-4984 1090 NE HEMLOCK AVE, REDMOND, OR 97756
Jurisdiction City Zoning Description Redmond C1 STRIP SERVICE COMMERICALREDMOND UGB Redmond C2 CENTRAL BUSINESS DIST. COMMERCIAL - REDMOND UGB
Planning Jursidiction: Urban Reserve Area: Urban Growth Boundary: Redmond No Redmond No permit records found. Permit Detail 000 09 2 200 -- COMMERCIAL Neighborhood: Study Area: Maintenance Area: Property Class: Subdivision: Lot: Block: Legal Description: Assessor's Office Supplemental Information Deschutes County Property Information Report, page 3 (For Report Disclaimer see page 1)

STATEMENT OF TAX ACCOUNT

2022 ADVALOREM $0.00 $0.00 $0.00 $0.00 $2,252.21 Nov 15, 2022 2021 ADVALOREM $0.00 $0.00 $0.00 $0.00 $2,112.48 Nov 15, 2021 2020 ADVALOREM $0.00 $0.00 $0.00 $0.00 $2,017.05 Nov 15, 2020 2019 ADVALOREM $0.00 $0.00 $0.00 $0.00 $1,929.02 Nov 15, 2019 2018 ADVALOREM $0.00 $0.00 $0.00 $0.00 $1,881.04 Nov 15, 2018 2017 ADVALOREM $0.00 $0.00 $0.00 $0.00 $1,616.79 Nov 15, 2017 2016 ADVALOREM $0.00 $0.00 $0.00 $0.00 $1,561.02 Nov 15, 2016 2015 ADVALOREM $0.00 $0.00 $0.00 $0.00 $1,343.81 Nov 15, 2015 2014 ADVALOREM $0.00 $0.00 $0.00 $0.00 $1,288.46 Nov 15, 2014 2013 ADVALOREM $0.00 $0.00 $0.00 $0.00 $1,289.73 Nov 15, 2013 2012 ADVALOREM $0.00 $0.00 $0.00 $0.00 $1,900.06 Nov 15, 2012 2011 ADVALOREM $0.00 $0.00 $0.00 $0.00 $1,822.58 Nov 15, 2011 2010 ADVALOREM $0.00 $0.00 $0.00 $0.00 $1,756.07 Nov 15, 2010 2009 ADVALOREM $0.00 $0.00 $0.00 $0.00 $1,728.98 Nov 15, 2009 2000 ADVALOREM $0.00 $0.00 $0.00 $0.00 $4,602.23 Nov 15, 2000 1999 ADVALOREM $0.00 $0.00 $0.00 $0.00 $5,215.02 Nov 15, 1999
COUNTY
DESCHUTES SERVICES BUILDING BEND OR 97703 (541) 388-6540 17-Jul-2023 196499 Tax Account # Account Status Roll Type Situs Address A Real Tax Summary Tax Year Tax Type Total Due Current Due Interest Due Discount Available Original Due Due Date 2039 Jul 15, 2023 Lender Name Loan Number Property ID Interest To $0.00 $0.00 $0.00 $0.00 Total Deschutes County Property Information Report, page 4 (For Report Disclaimer see page 1)
DESCHUTES
TAX COLLECTOR

REAL PROPERTY TAX STATEMENT

JULY 1, 2022 TO JUNE 30, 2023

DESCHUTES COUNTY, OREGON - 1300 NW WALL ST STE 203, BEND, OR 97703

TAX BY DISTRICT

TAX ACCOUNT: 196499

LINDSAY M MICKLES TRUST MICKLES, LINDSAY M TTEE PO BOX 2598

PETALUMA CA 94953

PROPERTY DESCRIPTION

LEGAL:

For Property Information: dial.deschutes.org

Full Payment with 3% Discount

Discount is lost after due date and interest may apply PAYMENT OPTIONS:

* Online

www.deschutes.org/tax

* By Mail to Deschutes County Tax, PO Box 7559 Bend OR 97708-7559

* Drop Box located at 1300 NW Wall Street, Bend or 411 SW 9th Street, Redmond

* In Person 1300 NW Wall Street, Ste 203, Bend (2nd Floor)

Please include this coupon with payment. Please do not staple, paper clip or tape your payment.

Payment Due November 15, 2022

Please select payment option

Full Payment (3% Discount)

No Additional Payment Due

Two-Thirds Payment (2% Discount)

Next Payment Due

One-Third Payment (No Discount)

Next Payment Due

AMOUNT ENCLOSED $

Please make checks payable to Deschutes County Tax Collector

TAX ACCOUNT: 196499

LINDSAY M MICKLES TRUST MICKLES, LINDSAY M TTEE PO BOX 2598 PETALUMA CA 94953 Deschutes County Tax Collector PO Box 7559 Bend OR 97708-7559

Change my Mailing Address

(Mailing address change form on reverse)

ADDRESS: MAP: 200 CLASS: 151316-DB-01701
2039 VALUES: REAL MARKET (RMV) LAND STRUCTURES TOTAL RMV TOTAL ASSESSED VALUE VETERAN'S EXEMPTION NET TAXABLE: TOTAL PROPERTY TAX: LAST YEAR THIS YEAR 160,800 0 160,800 186,530 0 186,530 114,140 0 114,140 2,112.48 117,560 0 117,560 2,252.21 TAX QUESTIONS ASSESSMENT QUESTIONS (541) 388-6540 (541) 388-6508 $2,184.64
SITUS
CODE:
05/15/23 02/15/23 $750.74 $1,471.44 $2,184.64
09100001964990000075074000014714400002184648 117,560 114,140 MAXIMUM ASSESSED VALUE
SCHOOL DISTRICT #2J 547.76 C O C C 67.63 HIGH DESERT ESD 10.52 EDUCATION TOTAL: 625.91 DESCHUTES COUNTY 132.81 COUNTY LIBRARY 59.97 COUNTYWIDE LAW ENFORCEMENT 114.47 COUNTY EXTENSION/4H 2.46 9-1-1 39.44 CITY OF REDMOND 480.71 REDMOND DWNTWN URBAN RENEWAL 112.73 REDMOND SOUTH 97 URBAN RENEWAL 19.63 REDMOND FIRE & RESCUE 191.22 REDMOND FIRE & RESCUE LOCAL OPTION 31.74 REDMOND AREA PARK & REC DISTRICT 40.52 GENERAL GOVT TOTAL: 1,225.70 COUNTY LIBRARY BOND 39.66 CITY OF REDMOND BOND 2022 85.02 SCHOOL #2J BOND 2004 88.19 SCHOOL #2J BOND 2008 151.30 SCHOOL #2J BOND 2021 27.41 C O C C BOND 9.02 BONDS - OTHER TOTAL: 400.60 Deschutes County Property Information Report, page 5 (For Report Disclaimer see page 1)
Deschutes County Property Information Report, page 6 (For Report Disclaimer see page 1)
De sc h u te s C o u n ty GIS De sc hu t es Cou nt y P rop er t y I nf orm at i on - Di al Roa d Map Map and Ta x l ot: 151 31 6D B 01701 Deschutes County Property Information Report, page 7 (For Report Disclaimer see page 1)

Deschutes County Property Information

Report Date: 7/17/2023 1:20:26 PM

Disclaimer

The information and maps presented in this report are provided for your convenience. Every reasonable effort has been made to assure the accuracy of the data and associated maps. Deschutes County makes no warranty, representation or guarantee as to the content, sequence, accuracy, timeliness or completeness of any of the data provided herein. Deschutes County explicitly disclaims any representations and warranties, including, without limitation, the implied warranties of merchantability and fitness for a particular purpose. Deschutes County shall assume no liability for any errors, omissions, or inaccuracies in the information provided regardless of how caused. Deschutes County assumes no liability for any decisions made or actions taken or not taken by the user of this information or data furnished hereunder.

Account Summary

LINDSAY M MICKLES TRUST PO BOX 2598

PETALUMA, CA 94953

Subdivision:

Property Class: 200 -- COMMERCIAL

Warnings, Notations, and Special Assessments

Review of digital records maintained by the Deschutes County Assessor’s Office, Tax Office, Finance Office, and the Community Development Department indicates that there are no special tax, assessment or property development related notations associated with this account. However, independent verification of the presence of other Deschutes County tax, assessment, development, and additional property related considerations is recommended. Confirmation is commonly provided by title companies, real estate agents, developers, engineering and surveying firms, and other parties who are involved in property transactions or property development. In addition, County departments may be contacted directly to discuss the information.

Ownership
Map
Taxlot: Account: Situs
Mailing
Tax
151316DA00405 131983
Account Information
Mailing Address:
and
Address:
Name:
Status:
550 SW JUNIPER AVE, REDMOND, OR 97756
Assessable
Acres: Property Taxes Assessment Tax Code Area: Current Tax Year: 2039 $3,167.23 0.90 Valuation $262,230 $0 Land Structures Total $262,230 Real
Jan.
$165,320 $165,320
Assessed
Veterans
LINDSAY M MICKLES TRUST
Assessor
Market Values as of
1, 2022
Maximum Assessed
Value
Exemption Current Assessed Values:
Block: Lot:
2018 - 2019 2019 - 2020 2020 - 2021 2021 - 2022 2022 - 2023 Real Market Value - Land $171,580 $178,440 $183,790 $226,060 $262,230 Real Market Value - Structures $0 $0 $0 $0 $0 Total Real Market Value $171,580 $178,440 $183,790 $226,060 $262,230 Maximum Assessed Value $146,910 $151,310 $155,840 $160,510 $165,320 Total Assessed Value $146,910 $151,310 $155,840 $160,510 $165,320 Veterans Exemption $0 $0 $0 $0 $0 Valuation History All values are as of January 1 of each year. Tax year is July 1st through June 30th of each year. Deschutes County Property Information Report, page 1

Tax Payment History

Sales History No

Year Date Due Transaction Type Transaction Date As Of Date Amount Received Tax Due Discount Amount Interest Charged Refund Interest 2022 11-15-2022 PAYMENT 11-02-2022 11-02-2022 $3,072.21 ($3,167.23) $95.02 $0.00 $0.00 2022 11-15-2022 IMPOSED 10-12-2022 11-15-2022 $0.00 $3,167.23 $0.00 $0.00 $0.00 Total: $0.00 2021 11-15-2021 PAYMENT 11-03-2021 11-03-2021 $2,881.57 ($2,970.69) $89.12 $0.00 $0.00 2021 11-15-2021 IMPOSED 10-11-2021 11-15-2021 $0.00 $2,970.69 $0.00 $0.00 $0.00 Total: $0.00 2020 11-15-2020 PAYMENT 10-30-2020 10-30-2020 $2,751.36 ($2,836.45) $85.09 $0.00 $0.00 2020 11-15-2020 IMPOSED 10-09-2020 11-15-2020 $0.00 $2,836.45 $0.00 $0.00 $0.00 Total: $0.00
Sale Date Seller Buyer Sale Amount Sale Type Recording Instrument 05/29/2009 CITY OF REDMOND MICKLES, LINDSAY M TTEE $440,000 03-GRANTOR/GRANTEE IS A POLITICAL SUBDIVISION 2009-23349
Structures Found. Deschutes County Property Information Report, page 2 (For Report Disclaimer see page 1)

Land Characteristics

Ownership

Service Providers Please contact districts to confirm.

Development Summary

Permit Detail

Land Description Acres Land Classification Commercial Lot 0.90
Name Type Name Ownership Type Ownership Percentage OWNER LINDSAY M MICKLES TRUST, OWNER 100.00% REPRESENTATIVE MICKLES, LINDSAYM OWNER AS TRUSTEE Category Name Phone Address COUNTY SERVICES DESCHUTES COUNTY (541) 388-6570 1300 NW WALL ST, BEND, OR 97703 FIRE DISTRICT REDMOND FIRE AND RESCUE (541) 504-5000 341 NW DOGWOOD AVE, REDMOND, OR 97756 SCHOOL DISTRICT REDMOND SCHOOL DISTRICT (541) 923-5437 145 SE SALMON AVE, REDMOND, OR 97756 ELEMENTARY SCHOOL ATTENDANCE AREA M. A. LYNCH ELEMENTARY SCHOOL (541) 923-4876 1314 SW KALAMA, REDMOND, OR 97756 MIDDLE SCHOOL ATTENDANCE AREA OBSIDIAN MIDDLE SCHOOL (541) 923-4900 1335 SW OBSIDIAN, REDMOND, OR 97756 HIGH SCHOOL ATTENDANCE AREA RIDGEVIEW HIGH SCHOOL (541) 504-3600 4555 SW ELKHORN AVE, REDMOND, OR 97756 EDUCATION SERVICE TAX DISTRICT HIGH DESERT EDUCATION SERVICE DISTRICT (541) 693-5600 145 SE SALMON AVE, REDMOND, OR 97756 COLLEGE TAX DISTRICT CENTRAL OREGON COMMUNITY COLLEGE (541) 383-7700 2600 NW COLLEGE WAY, BEND, OR 97703 PARK & RECREATION DISTRICT REDMOND AREA PARK & RECREATION DISTRICT (541) 548-7275 465 SW RIMROCK DR, REDMOND, OR 97756 LIBRARY DISTRICT DESCHUTES PUBLIC LIBRARY (541) 617-7050 601 NW WALL ST, BEND, OR 97703 WATER SERVICE PROVIDER REDMOND WATER DEPARTMENT (541) 504-2000 423 E ANTLER AVE #100, REDMOND, OR 97756 GARBAGE & RECYCLING SERVICE HIGH COUNTRY DISPOSAL (541) 548-4984 1090 NE HEMLOCK AVE, REDMOND, OR 97756
Jurisdiction City Zoning Description Redmond C1 STRIP SERVICE COMMERICALREDMOND UGB Redmond C2 CENTRAL BUSINESS DIST. COMMERCIAL - REDMOND UGB Deschutes County Permits Permit ID Permit Type Applicant Application Date Status 247-E14257 Electrical REDMOND CITY OF 06/21/1991 Finaled City of Redmond Permits Permit ID Permit Type Applicant Application Date Status 711-B59656 Building CITY OF REDMOND, BEND BROAD BAND, DUANE 07/26/2005 Finaled 711-E88983 Electrical CITY OF REDMOND, 04/12/2006 Finaled 711-19-000046-PD Land Use HA McCoy 03/19/2019 Closed
Planning Jursidiction: Urban Reserve Area: Urban Growth Boundary: Redmond No Redmond 711-B59656 Permit Number: CITY OF REDMOND, BEND BROAD BAND, DUANE Permit Name: OWNER Contractor: 07/26/2005 Application Date: 09/01/2005 Issue Date: 04/24/2006 Final Date: Finaled Status: Building Permit Details Commercial Building Class: Class of Work: 98 Square Feet: Bedrooms: Y On Sewer: $6,500 Permit Valuation:
Deschutes County Property Information Report, page 3 (For Report Disclaimer see page 1)

RELOCATE PRE-CAST BLDG: BEND BROAD BAND - IVR NUMBER = 711100015732 ~ IVR PHONE = 1888-299-2821

Building Use: 1 Stories:

Inspections

RELOCATE PRE-CAST BLDG: BEND BROAD BAND - IVR NUMBER = 711100015732 ~ IVR PHONE = 1888-299-2821

Date Init. Comments

06/07/2006 SLM PERMIT IS FILED IN THE BLDG NON-LINK BOOK

05/24/2006 KLB PLACED FILE IN TEMPS (SANDY'S) BASKET TO FILE WITH PERMIT

04/24/2006 RFG SPK W/SCOTT: THEY ARE READY TO MOVE THE EXISTING 6' x 8' CABLE HUT. HOWEVER, HE WAS INFORMED BY JEFF, PROJ. SUPERINTENDANT HAD INFORMED HIM THAT A SOIL IMPACTION TEST IS REQ'D.

02/14/2006 PMT DENNIS PERKINS SIGNED LETTER APPROVING EXTENSION MAILED LETTER TO BROADBAND ADV EXTENSION WAS APPROVED.

02/10/2006 PMT MARK FROM BEND BROADBAND SAID THEY WON'T BE STARTING THIS PROJECT FOR A WHILE ADV NEED TO SUBMIT A LETTER REQUESTING AN EXTENSION,ALSO HE SAID ANOTHER CONTRACTOR WAS LOOKING AT THE POSSIBLITY OF BUILDING A NEW BLDG INSTEAD OF MOVING THIS BLDG BUT I ADV NOTHING HAS BEEN SUBMITTED FOR BLDG OR PLANNING TO DO THAT.

02/10/2006 PMT RECEIVED LETTER ASKING FOR EXTENSION.

12/22/2005 PMT CALLED MARK W/BEND BROADBAND LM ON VM ADV REVISED PLANS READY TO PICK UP NO FEES OWING.

12/21/2005 RFG REC'VD (2) REVISED SITE PLANS

08/26/2005 PMT CALLED SPW MARK ADV PERMIT IS READY AND AMT OWING.

08/22/2005 RFG CARL ISHAM INITIALED ORIG. ROUTING SLIP. I FORWARDED THIS BACK TO PMT TO COMPLETE ROUTING PROCESS.

08/19/2005 PMT GAVE FILE BACK TO CHUCK MCGRAW TO SIGN OFF ON APPLICATION ROUTING SLIP WAS SIGNED.

08/19/2005 RFG PER ENG/CGI. THE RELOCATION OF EXISTING BLDG CREATES NO CHANGES TO THE USE OF THE BLDG. FORWARDED THE (2) SETS TO PMT TO COMPLETE THE PROCESS.

08/17/2005 PMT PLACED IN FIRE BIN TO BE APPROVED.

08/17/2005 RFG PER PLANNING: O.K. TO ISSUE BLDG PERMIT. FORWARDED THIS BLDG PERMIT APPLICATION TO PMT TO COMPLETE PROCESS.

08/09/2005 CEW COMPACTED FILL FOR BASE OF EXISTING BUILDING...PERMIT BASED ON STATED VALUE..$6,500.00

07/27/2005 RFG FORWARDED (1) SET TO PLANNING/CHUCK MCGRAW AND OTHER SET TO BLDG/CHUCK WOOLSEY.

Electrical Permit Details

247-E14257

OF

GOWDY BROS ELECTRIC

Service Description: 100 AMP SERVICE,FEEDERS, INSTALLATION, ALTERATIONS OR RELOCATION(1)

Inspections

Init. Comments 10/18/2010 DLJ Property ID/Situs Update through Property File Program 06/28/1991 CER SERVICE APPROVED AND FINALED 06/21/1991 LEL FOR RAY JOHNSON PARK, MISC. POWER - CITY OF REDMOND WILL NOT ISSUE AN ADDRESS FOR THE PARK.

Electrical Permit Details

711-E88983

Class of Work: TEMP POWER Building Use: Linked Permit:

Deschutes County Property Information Report, page 4 (For Report Disclaimer see page 1)

Date: 04/12/2006

04/12/2006

Permit
Permit Name:
Contractor: 06/21/1991 Application Date: 06/21/1991 Issue Date: 07/01/1991 Final Date: Finaled Status: Residential Building
New
Class of
Building
Number: REDMOND CITY
Class:
Construction
Work:
Use: Linked Permit:
Date
Application
Issue
Permit Number: CITY OF REDMOND, Permit Name: CITY OF REDMOND, Contractor: Finaled
Date: 04/13/2006 Final Date:
Status: Commercial Building Class: TEMP POWER - IVR NUMBER = 711100019921 ~ IVR PHONE = 1-888-299-2821
Service Description:

Inspections

No inspection records found.

Land Use Permit Details

Request: Comm: Construct four buildings and associated site improvements

Conservation Easement Required:

Conservation Easement Recording Number:

Conservation Easement Description:

Conservation Easement Comments:

Permit Name: Owner: 03/19/2019 Submit Date: Application Complete Date: Closed Status:
711-19-000046-PD Permit Number: HA McCoy
No 000 06 2 200 -- COMMERCIAL Neighborhood: Study Area: Maintenance Area: Property Class: Subdivision: Lot: Block: Legal Description:
Deschutes County Property Information Report, page 5 (For Report Disclaimer see page 1)
Assessor's Office Supplemental Information

STATEMENT OF TAX ACCOUNT

2022 ADVALOREM $0.00 $0.00 $0.00 $0.00 $3,167.23 Nov 15, 2022 2021 ADVALOREM $0.00 $0.00 $0.00 $0.00 $2,970.69 Nov 15, 2021 2020 ADVALOREM $0.00 $0.00 $0.00 $0.00 $2,836.45 Nov 15, 2020 2019 ADVALOREM $0.00 $0.00 $0.00 $0.00 $2,712.67 Nov 15, 2019 2018 ADVALOREM $0.00 $0.00 $0.00 $0.00 $2,645.22 Nov 15, 2018 2017 ADVALOREM $0.00 $0.00 $0.00 $0.00 $2,273.11 Nov 15, 2017 2016 ADVALOREM $0.00 $0.00 $0.00 $0.00 $2,194.78 Nov 15, 2016 2015 ADVALOREM $0.00 $0.00 $0.00 $0.00 $1,889.24 Nov 15, 2015 2014 ADVALOREM $0.00 $0.00 $0.00 $0.00 $1,811.56 Nov 15, 2014 2013 ADVALOREM $0.00 $0.00 $0.00 $0.00 $1,813.34 Nov 15, 2013 2012 ADVALOREM $0.00 $0.00 $0.00 $0.00 $2,671.80 Nov 15, 2012 2011 ADVALOREM $0.00 $0.00 $0.00 $0.00 $2,563.07 Nov 15, 2011 2010 ADVALOREM $0.00 $0.00 $0.00 $0.00 $2,469.38 Nov 15, 2010 2009 ADVALOREM $0.00 $0.00 $0.00 $0.00 $2,431.28 Nov 15, 2009
DESCHUTES COUNTY TAX COLLECTOR DESCHUTES SERVICES BUILDING BEND OR 97703 (541) 388-6540 LINDSAY M MICKLES TRUST MICKLES, LINDSAY M TTEE PO BOX 2598 PETALUMA CA 94953 17-Jul-2023 131983 Tax Account # Account Status Roll Type Situs Address A Real 550 SW JUNIPER AVE REDMOND 97756 Tax Summary Tax Year Tax Type Total Due Current Due Interest Due Discount Available Original Due Due Date 2039 Jul 15, 2023 Lender Name Loan Number Property ID Interest To $0.00 $0.00 $0.00 $0.00 Total Deschutes County Property Information Report, page 6 (For Report Disclaimer see page 1)

REAL PROPERTY TAX STATEMENT

JULY 1, 2022 TO JUNE 30, 2023

DESCHUTES COUNTY, OREGON - 1300 NW WALL ST STE 203, BEND, OR 97703

TAX BY DISTRICT

TAX ACCOUNT: 131983

LINDSAY M MICKLES TRUST MICKLES, LINDSAY M TTEE PO BOX 2598

PETALUMA CA 94953

PROPERTY DESCRIPTION

550 SW JUNIPER AVE REDMOND SITUS ADDRESS:

LEGAL:

For Property Information: dial.deschutes.org

Full Payment with 3% Discount

Discount is lost after due date and interest may apply PAYMENT OPTIONS:

* Online

www.deschutes.org/tax

* By Mail to Deschutes County Tax, PO Box 7559 Bend OR 97708-7559

* Drop Box located at 1300 NW Wall Street, Bend or 411 SW 9th Street, Redmond

* In Person 1300 NW Wall Street, Ste 203, Bend (2nd Floor)

Please include this coupon with payment. Please do not staple, paper clip or tape your payment.

Payment Due November 15, 2022

Please select payment option

Full Payment (3% Discount)

No Additional Payment Due

Two-Thirds Payment (2% Discount)

Next Payment Due

One-Third Payment (No Discount)

Next Payment Due

AMOUNT ENCLOSED $

Please make checks payable to Deschutes County Tax Collector

TAX ACCOUNT: 131983

LINDSAY M MICKLES TRUST MICKLES, LINDSAY M TTEE PO BOX 2598 PETALUMA CA 94953 Deschutes County Tax Collector PO Box 7559 Bend OR 97708-7559

Change my Mailing Address

(Mailing address change form on reverse)

09100001319830000105575000020692600003072213

MAP: 200 CLASS:
REAL
LAND STRUCTURES TOTAL
TOTAL
VALUE VETERAN'S EXEMPTION NET TAXABLE: TOTAL PROPERTY TAX: LAST YEAR THIS YEAR 226,060 0 226,060 262,230 0 262,230 160,510 0 160,510 2,970.69 165,320 0 165,320 3,167.23 TAX QUESTIONS ASSESSMENT QUESTIONS (541) 388-6540 (541) 388-6508 $3,072.21
151316-DA-00405 CODE: 2039 VALUES:
MARKET (RMV)
RMV
ASSESSED
05/15/23 02/15/23 $1,055.75 $2,069.26 $3,072.21
165,320 160,510 MAXIMUM ASSESSED VALUE
SCHOOL DISTRICT #2J 770.29 C O C C 95.11 HIGH DESERT ESD 14.80 EDUCATION TOTAL: 880.20 DESCHUTES COUNTY 186.76 COUNTY LIBRARY 84.33 COUNTYWIDE LAW ENFORCEMENT 160.97 COUNTY EXTENSION/4H 3.46 9-1-1 55.46 CITY OF REDMOND 676.01 REDMOND DWNTWN URBAN RENEWAL 158.53 REDMOND SOUTH 97 URBAN RENEWAL 27.61 REDMOND FIRE & RESCUE 268.91 REDMOND FIRE & RESCUE LOCAL OPTION 44.64 REDMOND AREA PARK & REC DISTRICT 56.99 GENERAL GOVT TOTAL: 1,723.67 COUNTY LIBRARY BOND 55.78 CITY OF REDMOND BOND 2022 119.56 SCHOOL #2J BOND 2004 124.02 SCHOOL #2J BOND 2008 212.77 SCHOOL #2J BOND 2021 38.55 C O C C BOND 12.68 BONDS - OTHER TOTAL: 563.36 Deschutes County Property Information Report, page 7 (For Report Disclaimer see page 1)
Deschutes County Property Information Report, page 8 (For Report Disclaimer see page 1)
De sc h u te s C o u n ty GIS De sc hu t es Cou nt y P rop er t y I nf orm at i on - Di al Roa
Map and Ta x l ot: 151 31 6D A 00405 Deschutes County Property Information Report, page 9 (For Report Disclaimer see page 1)
d Map

Deschutes County Property Information

Report Date: 7/17/2023 1:24:47 PM

The information and maps presented in this report are provided for your convenience. Every reasonable effort has been made to assure the accuracy of the data and associated maps. Deschutes County makes no warranty, representation or guarantee as to the content, sequence, accuracy, timeliness or completeness of any of the data provided herein. Deschutes County explicitly disclaims any representations and warranties, including, without limitation, the implied warranties of merchantability and fitness for a particular purpose. Deschutes County shall assume no liability for any errors, omissions, or inaccuracies in the information provided regardless of how caused. Deschutes County assumes no liability for any decisions made or actions taken or not taken by the user of this information or data furnished hereunder.

Account Summary

Account Information

Subdivision:

Property Class: 200 -- COMMERCIAL

Warnings, Notations, and Special Assessments

Mailing Address:

LINDSAY M MICKLES TRUST PO BOX 2598

PETALUMA, CA 94953

Real Market Values as of Jan. 1, 2022 $530 $530

Current Assessed Values:

Maximum Assessed Assessed Value Veterans Exemption

Review of digital records maintained by the Deschutes County Assessor’s Office, Tax Office, Finance Office, and the Community Development Department indicates that there are no special tax, assessment or property development related notations associated with this account. However, independent verification of the presence of other Deschutes County tax, assessment, development, and additional property related considerations is recommended. Confirmation is commonly provided by title companies, real estate agents, developers, engineering and surveying firms, and other parties who are involved in property transactions or property development. In addition, County departments may be contacted directly to discuss the information.

Ownership
Map and Taxlot: Account: Situs Address: Mailing Name: Tax Status: 151316DB01703 199668 **NO SITUS ADDRESS** LINDSAY M MICKLES TRUST Assessable
Acres: Property Taxes Assessment Tax Code Area: Current Tax Year: 2001 $10.15 0.01
$920 $0
Assessor
Valuation
Land Structures Total $920
Block: Lot:
2018 - 2019 2019 - 2020 2020 - 2021 2021 - 2022 2022 - 2023 Real Market Value - Land $600 $620 $640 $790 $920 Real Market Value - Structures $0 $0 $0 $0 $0 Total Real Market Value $600 $620 $640 $790 $920 Maximum Assessed Value $490 $500 $510 $520 $530 Total Assessed Value $490 $500 $510 $520 $530 Veterans Exemption $0 $0 $0 $0 $0 Valuation History All values are as of January 1 of each year. Tax year is July 1st through June 30th of each year. Deschutes County Property Information Report, page 1
Disclaimer

Tax Payment History

Sales History

Year Date Due Transaction Type Transaction Date As Of Date Amount Received Tax Due Discount Amount Interest Charged Refund Interest 2022 11-15-2022 PAYMENT 11-02-2022 11-02-2022 $9.85 ($10.15) $0.30 $0.00 $0.00 2022 11-15-2022 IMPOSED 10-12-2022 11-15-2022 $0.00 $10.15 $0.00 $0.00 $0.00 Total: $0.00 2021 11-15-2021 PAYMENT 11-03-2021 11-03-2021 $9.34 ($9.63) $0.29 $0.00 $0.00 2021 11-15-2021 IMPOSED 10-11-2021 11-15-2021 $0.00 $9.63 $0.00 $0.00 $0.00 Total: $0.00 2020 11-15-2020 PAYMENT 10-30-2020 10-30-2020 $9.01 ($9.29) $0.28 $0.00 $0.00 2020 11-15-2020 IMPOSED 10-09-2020 11-15-2020 $0.00 $9.29 $0.00 $0.00 $0.00 Total: $0.00
Sale Date Seller Buyer Sale Amount Sale Type Recording Instrument 05/29/2009 CITY OF REDMOND MICKLES, LINDSAY M TTEE $440,000 03-GRANTOR/GRANTEE IS A POLITICAL SUBDIVISION 2009-23349 12/09/1999 BUGGSI,INC CITY OF REDMOND $152,873 03-GRANTOR/GRANTEE IS A POLITICAL SUBDIVISION 1999-58538 12/09/1999 SCHROEDER,VICTOR M BUGGSI,INC $0 21-PROPERTY SOLD NOT SAME AS ASSESSED 1999-58537
Deschutes County Property Information Report, page 2 (For Report Disclaimer see page 1)
No Structures Found.

Land Characteristics

Ownership

Service

Development Summary

Permit

Land Description Acres Land Classification Commercial Lot 0.01
Name Type Name Ownership Type Ownership Percentage REPRESENTATIVE MICKLES, LINDSAYM OWNER AS TRUSTEE OWNER LINDSAY M MICKLES TRUST, OWNER 100.00% Category Name Phone Address COUNTY SERVICES DESCHUTES COUNTY (541) 388-6570 1300 NW WALL ST, BEND, OR 97703 FIRE DISTRICT REDMOND FIRE AND RESCUE (541) 504-5000 341 NW DOGWOOD AVE, REDMOND, OR 97756 SCHOOL DISTRICT REDMOND SCHOOL DISTRICT (541) 923-5437 145 SE SALMON AVE, REDMOND, OR 97756 ELEMENTARY SCHOOL ATTENDANCE AREA M. A. LYNCH ELEMENTARY SCHOOL (541) 923-4876 1314 SW KALAMA, REDMOND, OR 97756 MIDDLE SCHOOL ATTENDANCE AREA OBSIDIAN MIDDLE SCHOOL (541) 923-4900 1335 SW OBSIDIAN, REDMOND, OR 97756 HIGH SCHOOL ATTENDANCE AREA RIDGEVIEW HIGH SCHOOL (541) 504-3600 4555 SW ELKHORN AVE, REDMOND, OR 97756 EDUCATION SERVICE TAX DISTRICT HIGH DESERT EDUCATION SERVICE DISTRICT (541) 693-5600 145 SE SALMON AVE, REDMOND, OR 97756 COLLEGE TAX DISTRICT CENTRAL OREGON COMMUNITY COLLEGE (541) 383-7700 2600 NW COLLEGE WAY, BEND, OR 97703 PARK & RECREATION DISTRICT REDMOND AREA PARK & RECREATION DISTRICT (541) 548-7275 465 SW RIMROCK DR, REDMOND, OR 97756 LIBRARY DISTRICT DESCHUTES PUBLIC LIBRARY (541) 617-7050 601 NW WALL ST, BEND, OR 97703 WATER SERVICE PROVIDER REDMOND WATER DEPARTMENT (541) 504-2000 423 E ANTLER AVE #100, REDMOND, OR 97756 IRRIGATION DISTRICT CENTRAL OREGON IRRIGATION DISTRICT (541) 548-6047 1055 SW LAKE CT, REDMOND, OR 97756 GARBAGE & RECYCLING SERVICE HIGH COUNTRY DISPOSAL (541) 548-4984 1090 NE HEMLOCK AVE, REDMOND, OR 97756
Jurisdiction City Zoning Description Redmond C1 STRIP SERVICE COMMERICALREDMOND UGB Redmond C2 CENTRAL BUSINESS DIST. COMMERCIAL - REDMOND UGB
Providers Please contact districts to confirm.
Planning Jursidiction: Urban Reserve Area: Urban Growth Boundary: Redmond No Redmond No permit records found.
Detail 000 09 2 200 -- COMMERCIAL Neighborhood: Study Area: Maintenance Area: Property Class: Subdivision: Lot: Block: Legal Description: Assessor's Office Supplemental Information Deschutes County Property Information Report, page 3 (For Report Disclaimer see page 1)

STATEMENT OF TAX ACCOUNT

2022 ADVALOREM $0.00 $0.00 $0.00 $0.00 $10.15 Nov 15, 2022 2021 ADVALOREM $0.00 $0.00 $0.00 $0.00 $9.63 Nov 15, 2021 2020 ADVALOREM $0.00 $0.00 $0.00 $0.00 $9.29 Nov 15, 2020 2019 ADVALOREM $0.00 $0.00 $0.00 $0.00 $8.96 Nov 15, 2019 2018 ADVALOREM $0.00 $0.00 $0.00 $0.00 $8.81 Nov 15, 2018 2017 ADVALOREM $0.00 $0.00 $0.00 $0.00 $7.92 Nov 15, 2017 2016 ADVALOREM $0.00 $0.00 $0.00 $0.00 $7.69 Nov 15, 2016 2015 ADVALOREM $0.00 $0.00 $0.00 $0.00 $6.60 Nov 15, 2015 2014 ADVALOREM $0.00 $0.00 $0.00 $0.00 $6.28 Nov 15, 2014 2013 ADVALOREM $0.00 $0.00 $0.00 $0.00 $6.29 Nov 15, 2013 2012 ADVALOREM $0.00 $0.00 $0.00 $0.00 $9.04 Nov 15, 2012 2011 ADVALOREM $0.00 $0.00 $0.00 $0.00 $8.71 Nov 15, 2011 2010 ADVALOREM $0.00 $0.00 $0.00 $0.00 $8.44 Nov 15, 2010 2009 ADVALOREM $0.00 $0.00 $0.00 $0.00 $8.39 Nov 15, 2009
DESCHUTES COUNTY TAX COLLECTOR DESCHUTES SERVICES BUILDING BEND OR 97703 (541) 388-6540 LINDSAY M MICKLES TRUST MICKLES, LINDSAY M TTEE PO BOX 2598 PETALUMA CA 94953 17-Jul-2023 199668 Tax Account # Account Status Roll Type Situs Address A Real Tax Summary Tax Year Tax Type Total Due Current Due Interest Due Discount Available Original Due Due Date 2001 Jul 15, 2023 Lender Name Loan Number Property ID Interest To $0.00 $0.00 $0.00 $0.00 Total Deschutes County Property Information Report, page 4 (For Report Disclaimer see page 1)

REAL PROPERTY TAX STATEMENT

JULY 1, 2022 TO JUNE 30, 2023

DESCHUTES COUNTY, OREGON - 1300 NW WALL ST STE 203, BEND, OR 97703

TAX BY DISTRICT

TAX ACCOUNT: 199668

LINDSAY M MICKLES TRUST MICKLES, LINDSAY M TTEE PO BOX 2598

PETALUMA CA 94953

PROPERTY DESCRIPTION

LEGAL:

For Property Information: dial.deschutes.org

Full Payment with 3% Discount

Discount is lost after due date and interest may apply

PAYMENT OPTIONS:

* Online

www.deschutes.org/tax

* By Mail to Deschutes County Tax, PO Box 7559 Bend OR 97708-7559

* Drop Box located at 1300 NW Wall Street, Bend or 411 SW 9th Street, Redmond

* In Person 1300 NW Wall Street, Ste 203, Bend (2nd Floor)

Please include this coupon with payment. Please do not staple, paper clip or tape your payment.

Please select payment option

Full Payment (3% Discount)

Two-Thirds Payment (2% Discount)

Next Payment Due

One-Third Payment (No Discount)

Next Payment Due

Payment Due November 15, 2022

TAX ACCOUNT: 199668

(Mailing address change form on reverse)

AMOUNT ENCLOSED $

Please make checks payable to Deschutes County Tax Collector

ADDRESS: MAP: 200 CLASS: 151316-DB-01703 CODE: 2001 VALUES: REAL MARKET
LAND STRUCTURES TOTAL RMV TOTAL ASSESSED VALUE VETERAN'S EXEMPTION NET TAXABLE: TOTAL PROPERTY TAX: LAST YEAR THIS YEAR 790 0 790 920 0 920 520 0 520 9.63 530 0 530 10.15 TAX QUESTIONS ASSESSMENT QUESTIONS (541) 388-6540 (541) 388-6508 $9.85
Additional Payment Due 05/15/23 02/15/23 $9.85
SITUS
(RMV)
No
Change my Mailing Address
BOX
Box
09100001996680000000000000000000000000009856 530 520 MAXIMUM ASSESSED VALUE
LINDSAY M MICKLES TRUST MICKLES, LINDSAY M TTEE PO
2598 PETALUMA CA 94953 Deschutes County Tax Collector PO
7559 Bend OR 97708-7559
SCHOOL DISTRICT #2J 2.47 C O C C 0.30 HIGH DESERT ESD 0.05 EDUCATION TOTAL: 2.82 DESCHUTES COUNTY 0.60 COUNTY LIBRARY 0.27 COUNTYWIDE LAW ENFORCEMENT 0.52 COUNTY EXTENSION/4H 0.01 9-1-1 0.18 CITY OF REDMOND 2.17 REDMOND DWNTWN URBAN RENEWAL 0.51 REDMOND SOUTH 97 URBAN RENEWAL 0.09 REDMOND FIRE & RESCUE 0.86 REDMOND FIRE & RESCUE LOCAL OPTION 0.14 REDMOND AREA PARK & REC DISTRICT 0.18 GENERAL GOVT TOTAL: 5.53 COUNTY LIBRARY BOND 0.18 CITY OF REDMOND BOND 2022 0.38 SCHOOL #2J BOND 2004 0.40 SCHOOL #2J BOND 2008 0.68 SCHOOL #2J BOND 2021 0.12 C O C C BOND 0.04 BONDS - OTHER TOTAL: 1.80 Deschutes County Property Information Report, page 5 (For Report Disclaimer see page 1)
Deschutes County Property Information Report, page 6 (For Report Disclaimer see page 1)
De sc h u te s C o u n ty GIS De sc hu t es Cou nt y P rop er t y I nf orm at i on - Di al Roa
Map and Ta x l ot: 151 31 6D B 01703 Deschutes County Property Information Report, page 7 (For Report Disclaimer see page 1)
d Map
Acct: 196499 & 131983 & 199668

AerialMap

ParcelID:124144

TaxAccount#:151316DB01700

RedmondOR97756

Thismap/plat isbeingfurnishedasanaidinlocatingtheherein describedlandinrelationtoadjoiningstreets,natural boundariesandotherland,andisnot asurveyoftheland depicted Except totheextent apolicyoftitleinsuranceis expresslymodifiedbyendorsement,ifany,thecompanydoes not insuredimensions,distances,locationofeasements, acreageorothermattersshownthereon

AerialMap

ParcelID:196499

TaxAccount#:151316DB01701

RedmondOR97756

Thismap/platisbeingfurnishedasanaidinlocatingtheherein describedlandinrelationtoadjoiningstreets,naturalboundariesand otherland,andisnotasurveyofthelanddepictedExcepttotheextent apolicyoftitleinsuranceisexpresslymodifiedbyendorsement,ifany, thecompanydoesnotinsuredimensions,distances,locationof easements,acreageorothermattersshownthereon

AerialMap

ParcelID:131983

TaxAccount#:151316DA00405

550SWJuniperAve, RedmondOR97756

Thismap/plat isbeingfurnishedasanaidinlocatingtheherein describedlandinrelationtoadjoiningstreets,natural boundariesandotherland,andisnot asurveyoftheland depicted Except totheextent apolicyoftitleinsuranceis expresslymodifiedbyendorsement,ifany,thecompanydoes not insuredimensions,distances,locationofeasements, acreageorothermattersshownthereon

AerialMap

ParcelID:199668

TaxAccount#:151316DB01703

RedmondOR97756

Thismap/plat isbeingfurnishedasanaidinlocatingtheherein describedlandinrelationtoadjoiningstreets,natural boundariesandotherland,andisnot asurveyoftheland depicted Except totheextent apolicyoftitleinsuranceis expresslymodifiedbyendorsement,ifany,thecompanydoes not insuredimensions,distances,locationofeasements, acreageorothermattersshownthereon

AssessorMap

ParcelID:124144

TaxAccount#:151316DB01700

RedmondOR97756

Thismap/plat isbeingfurnishedasanaidinlocatingtheherein describedlandinrelationtoadjoiningstreets,natural boundariesandotherland,andisnot asurveyoftheland depicted Except totheextent apolicyoftitleinsuranceis expresslymodifiedbyendorsement,ifany,thecompanydoes not insuredimensions,distances,locationofeasements, acreageorothermattersshownthereon

AssessorMap

ParcelID:196499

TaxAccount#:151316DB01701

RedmondOR97756

Thismap/plat isbeingfurnishedasanaidinlocatingtheherein describedlandinrelationtoadjoiningstreets,natural boundariesandotherland,andisnot asurveyoftheland depicted Except totheextent apolicyoftitleinsuranceis expresslymodifiedbyendorsement,ifany,thecompanydoes not insuredimensions,distances,locationofeasements, acreageorothermattersshownthereon

AssessorMap

ParcelID:131983

TaxAccount#:151316DA00405

550SWJuniperAve, RedmondOR97756

Thismap/plat isbeingfurnishedasanaidinlocatingtheherein describedlandinrelationtoadjoiningstreets,natural boundariesandotherland,andisnot asurveyoftheland depicted Except totheextent apolicyoftitleinsuranceis expresslymodifiedbyendorsement,ifany,thecompanydoes not insuredimensions,distances,locationofeasements, acreageorothermattersshownthereon

AssessorMap

ParcelID:199668

TaxAccount#:151316DB01703

RedmondOR97756

Thismap/plat isbeingfurnishedasanaidinlocatingtheherein describedlandinrelationtoadjoiningstreets,natural boundariesandotherland,andisnot asurveyoftheland depicted Except totheextent apolicyoftitleinsuranceis expresslymodifiedbyendorsement,ifany,thecompanydoes not insuredimensions,distances,locationofeasements, acreageorothermattersshownthereon

ContourMap

ParcelID:124144

TaxAccount#:151316DB01700

RedmondOR97756

Thismap/plat isbeingfurnishedasanaidinlocatingtheherein describedlandinrelationtoadjoiningstreets,natural boundariesandotherland,andisnot asurveyoftheland depicted Except totheextent apolicyoftitleinsuranceis expresslymodifiedbyendorsement,ifany,thecompanydoes not insuredimensions,distances,locationofeasements, acreageorothermattersshownthereon

151316DB01700- 151316DB01701- 151316DA00405- 151316DB01703

This map/plat is being furnished as an aid in locating the herein described land in relation to adjoining streets natural boundaries and other land, and is not a survey of the land depicted Except to the extent a policy of title insurance is expressly modied by endorsement, if any the company does not insure dimensions distances location of easements, acreage or other matters shown thereon.

FloodMap

ParcelID:124144

TaxAccount#:151316DB01700

RedmondOR97756

Thismap/plat isbeingfurnishedasanaidinlocatingtheherein describedlandinrelationtoadjoiningstreets,natural boundariesandotherland,andisnot asurveyoftheland depicted Except totheextent apolicyoftitleinsuranceis expresslymodifiedbyendorsement,ifany,thecompanydoes not insuredimensions,distances,locationofeasements, acreageorothermattersshownthereon

AerialMap

ParcelID:124144

TaxAccount#:151316DB01700

RedmondOR97756

Thismap/plat isbeingfurnishedasanaidinlocatingtheherein describedlandinrelationtoadjoiningstreets,natural boundariesandotherland,andisnot asurveyoftheland depicted Except totheextent apolicyoftitleinsuranceis expresslymodifiedbyendorsement,ifany,thecompanydoes not insuredimensions,distances,locationofeasements, acreageorothermattersshownthereon

ParcelID:124144

TaxAccount#:151316DB01700

RedmondOR97756

Thismap/plat isbeingfurnishedasanaidinlocatingtheherein describedlandinrelationtoadjoiningstreets,natural boundariesandotherland,andisnot asurveyoftheland depicted Except totheextent apolicyoftitleinsuranceis expresslymodifiedbyendorsement,ifany,thecompanydoes not insuredimensions,distances,locationofeasements, acreageorothermattersshownthereon

SoilMap

ParcelID:124144

TaxAccount#:151316DB01700

RedmondOR97756

Thismap/plat isbeingfurnishedasanaidinlocatingtheherein describedlandinrelationtoadjoiningstreets,natural boundariesandotherland,andisnot asurveyoftheland depicted Except totheextent apolicyoftitleinsuranceis expresslymodifiedbyendorsement,ifany,thecompanydoes not insuredimensions,distances,locationofeasements, acreageorothermattersshownthereon

StreetMap

ParcelID:124144

TaxAccount#:151316DB01700

RedmondOR97756

Thismap/plat isbeingfurnishedasanaidinlocatingtheherein describedlandinrelationtoadjoiningstreets,natural boundariesandotherland,andisnot asurveyoftheland depicted Except totheextent apolicyoftitleinsuranceis expresslymodifiedbyendorsement,ifany,thecompanydoes not insuredimensions,distances,locationofeasements, acreageorothermattersshownthereon

SubdivisionMap

ParcelID:124144

TaxAccount#:151316DB01700

RedmondOR97756

Thismap/plat isbeingfurnishedasanaidinlocatingtheherein describedlandinrelationtoadjoiningstreets,natural boundariesandotherland,andisnot asurveyoftheland depicted Except totheextent apolicyoftitleinsuranceis expresslymodifiedbyendorsement,ifany,thecompanydoes not insuredimensions,distances,locationofeasements, acreageorothermattersshownthereon

TransportationMap

ZoningMap

ParcelID:124144

TaxAccount#:151316DB01700

RedmondOR97756

Thismap/plat isbeingfurnishedasanaidinlocatingtheherein describedlandinrelationtoadjoiningstreets,natural boundariesandotherland,andisnot asurveyoftheland depicted Except totheextent apolicyoftitleinsuranceis expresslymodifiedbyendorsement,ifany,thecompanydoes not insuredimensions,distances,locationofeasements, acreageorothermattersshownthereon

CHAPTER 8

REDMOND CODE
The contents of Chapter Development Regulations can be found here: https://www.redmondoregon.gov/home/showpublisheddocument/3426/638091 082331730000
DEVELOPMENT REGULATIONS

Acct # 124144 - Water Distribution System Aerial

S W 1 1 t h S t S W 1 1 t h S t S W V e t e r a n s W a y S W V et e rans Way S 1 s t S t S 1 s t S t
Esri Community Maps Contributors, Oregon State Parks, State of Oregon GEO, © OpenStreetMap, Microsoft, Esri, HERE, Garmin, SafeGraph, WATER LATERAL Commercial Domestic Fire HydrantLaterals Industrial Irrigation System Commercial/Fire GRAVITY MAIN SYSTEM VALVE FITTINGS Bend Cap Coupling Cross ExpansionJoint Offset 7/17/2023, 10:58:45 AM 0 0.06 0.11 0.03 mi 0 0.09 0.17 0.04 km 1:4,514 Web AppBuilder for ArcGIS Esri Community Maps Contributors, Oregon State Parks, State of Oregon GEO, © OpenStreetMap, Microsoft, Esri, HERE, Garmin, SafeGraph, GeoTechnologies, Inc, METI/NASA, USGS, Bureau of Land Management, EPA, NPS, US Census Bureau, USDA | Esri

Acct # 124144 - Water Distribution System No Aerial

S W 1 1 t h S t S W 1 1 t h S t S W V e t e r a n s W a y S W V et e rans Way S 1 s t S t S 1 s t S t
Esri Community Maps Contributors, Oregon State Parks, State of Oregon GEO, © OpenStreetMap, Microsoft, Esri, HERE, Garmin, SafeGraph, WATER LATERAL Commercial Domestic Fire HydrantLaterals Industrial Irrigation System Commercial/Fire GRAVITY MAIN SYSTEM VALVE FITTINGS Bend Cap Coupling Cross ExpansionJoint Offset 7/17/2023, 10:57:11 AM 0 0.06 0.11 0.03 mi 0 0.09 0.17 0.04 km 1:4,514 Web AppBuilder for ArcGIS Esri Community Maps Contributors, Oregon State Parks, State of Oregon GEO, © OpenStreetMap, Microsoft, Esri, HERE, Garmin, SafeGraph, GeoTechnologies, Inc, METI/NASA, USGS, Bureau of Land Management, EPA, NPS, US Census Bureau, USDA | Esri

Acct # 124144 - Waste Water Collection System Aerial

S W 1 1 t h S t S W 1 1 t h S t S W V e t e r a n s W a y S W V et e rans Way S 1 s t S t S 1 s t S t
Esri Community Maps Contributors, Oregon State Parks, State of Oregon GEO, © OpenStreetMap, Microsoft, Esri, HERE, Garmin, SafeGraph, COLLECTION MAIN SERVICE LATERAL CLEAN OUT MANHOLE PRESSURE MAIN PUMP STATION REDMOND TAXLOTS STREET CENTERLINE STREET NAMES 7/17/2023, 10:59:58 AM 0 0.06 0.11 0.03 mi 0 0.09 0.17 0.04 km 1:4,514 Web AppBuilder for ArcGIS Esri Community Maps Contributors, Oregon State Parks, State of Oregon GEO, © OpenStreetMap, Microsoft, Esri, HERE, Garmin, SafeGraph, GeoTechnologies, Inc, METI/NASA, USGS, Bureau of Land Management, EPA, NPS, US Census Bureau, USDA | Esri

Acct # 124144 - Waste Water Collection System No Aerial

S W 1 1 t h S t S W 1 1 t h S t S W V e t e r a n s W a y S W V et e rans Way S 1 s t S t S 1 s t S t
Esri Community Maps Contributors, Oregon State Parks, State of Oregon GEO, © OpenStreetMap, Microsoft, Esri, HERE, Garmin, SafeGraph, COLLECTION MAIN SERVICE LATERAL CLEAN OUT MANHOLE PRESSURE MAIN PUMP STATION REDMOND TAXLOTS STREET CENTERLINE STREET NAMES 7/17/2023, 11:00:35 AM 0 0.06 0.11 0.03 mi 0 0.09 0.17 0.04 km 1:4,514 Web AppBuilder for ArcGIS Esri Community Maps Contributors, Oregon State Parks, State of Oregon GEO, © OpenStreetMap, Microsoft, Esri, HERE, Garmin, SafeGraph, GeoTechnologies, Inc, METI/NASA, USGS, Bureau of Land Management, EPA, NPS, US Census Bureau, USDA | Esri

Acct # 124144 - Stormwater Aerial

S W 1 1 t h S t S W 1 1 t h S t S W V e t e r a n s W a y S W V et e rans Way S 1 s t S t S 1 s t S t
Esri Community Maps Contributors, Oregon State Parks, State of Oregon GEO, © OpenStreetMap, Microsoft, Esri, HERE, Garmin, SafeGraph, DETENTION BASINS INFILTRATION BASIN POND SWALE STORM PIPE ACCESS POINTS CLEANOUT MANHOLE OTHER SEDIMENTATION MANHOLE VAULT STORM UIC FACILITIES DRILL HOLE DRYWELL FRENCH DRAIN 7/17/2023, 11:02:33 AM 0 0.06 0.11 0.03 mi 0 0.09 0.17 0.04 km 1:4,514 Web AppBuilder for ArcGIS Esri Community Maps Contributors, Oregon State Parks, State of Oregon GEO, © OpenStreetMap, Microsoft, Esri, HERE, Garmin, SafeGraph, GeoTechnologies, Inc, METI/NASA, USGS, Bureau of Land Management, EPA, NPS, US Census Bureau, USDA | Esri
S W 1 1 t h S t S W 1 1 t h S t S W V e t e r a n s W a y S W V et e rans Way S 1 s t S t S 1 s t S t
Esri Community Maps Contributors, Oregon State Parks, State of Oregon GEO, © OpenStreetMap, Microsoft, Esri, HERE, Garmin, SafeGraph, DETENTION BASINS INFILTRATION BASIN POND SWALE STORM PIPE ACCESS POINTS CLEANOUT MANHOLE OTHER SEDIMENTATION MANHOLE VAULT STORM UIC FACILITIES DRILL HOLE DRYWELL FRENCH DRAIN 7/17/2023, 11:01:59 AM 0 0.06 0.11 0.03 mi 0 0.09 0.17 0.04 km 1:4,514 Web AppBuilder for ArcGIS Esri Community Maps Contributors, Oregon State Parks, State of Oregon GEO, © OpenStreetMap, Microsoft, Esri, HERE, Garmin, SafeGraph, GeoTechnologies, Inc, METI/NASA, USGS, Bureau of Land Management, EPA, NPS, US Census Bureau, USDA | Esri
Acct # 124144 - Stormwater No Aerial
1 1 t h S t S W 1 1 t h S t S W V e t e r a n s W a y S W V et e rans Way S 1 s t S t S 1 s t S t
Esri Community Maps Contributors, Oregon State Parks, State of Oregon GEO, © OpenStreetMap, Microsoft, Esri, HERE, Garmin, SafeGraph, NATURAL GAS REDMOND TAXLOTS STREET CENTERLINE STREET NAMES REDMOND URBAN RESERVE AREA REDMOND URBAN GROWTH BOUNDARY 7/17/2023, 10:54:38 AM 0 0.06 0.11 0.03 mi 0 0.09 0.17 0.04 km 1:4,514 Web AppBuilder for ArcGIS Esri Community Maps Contributors, Oregon State Parks, State of Oregon GEO, © OpenStreetMap, Microsoft, Esri, HERE, Garmin, SafeGraph, GeoTechnologies, Inc, METI/NASA, USGS, Bureau of Land Management, EPA, NPS, US Census Bureau, USDA | Esri
Acct # 124144 - Natural Gas Aerial

Acct

# 124144 - Natural Gas No Aerial

S W 1 1 t h S t S W 1 1 t h S t S W V e t e r a n s W a y S W V et e rans Way S 1 s t S t S 1 s t S t
Esri Community Maps Contributors, Oregon State Parks, State of Oregon GEO, © OpenStreetMap, Microsoft, Esri, HERE, Garmin, SafeGraph, NATURAL GAS REDMOND TAXLOTS STREET CENTERLINE STREET NAMES REDMOND URBAN RESERVE AREA REDMOND URBAN GROWTH BOUNDARY 7/17/2023, 10:55:53 AM 0 0.06 0.11 0.03 mi 0 0.09 0.17 0.04 km 1:4,514 Web AppBuilder for ArcGIS Esri Community Maps Contributors, Oregon State Parks, State of Oregon GEO, © OpenStreetMap, Microsoft, Esri, HERE, Garmin, SafeGraph, GeoTechnologies, Inc, METI/NASA, USGS, Bureau of Land Management, EPA, NPS, US Census Bureau, USDA | Esri
Bureau of Land Management, State of Oregon GEO, State of Oregon, Esri, HERE, Garmin, INCREMENT P, NGA, USGS, U.S. Forest Service 0 0.8 1.6 mi Site Map 1154 S Highway 97 Prepared by Esri 1154 S Highway 97, Redmond, Oregon, 97756 Latitude: 44.26582 Rings: 1, 3, 5 mile radii Longitude: -121.17419 July 17, 2023 ©2023 Esri Page 1 of 1
1154 S Highway 97 Prepared by Esri 1154 S Highway 97, Redmond, Oregon, 97756 Latitude: 44.26582 Ring: 1 mile radius Longitude: -121.17419 2017-2021 ACS Estimate Percent MOE(±) Reliability TOTALS Total Population 5,276 236 Total Households 2,056 61 Total Housing Units 2,208 66 POPULATION AGE 3+ YEARS BY SCHOOL ENROLLMENT Total 5,119 100.0% 211 Enrolled in school 1,153 22 5% 82 Enrolled in nursery school, preschool 91 1.8% 43 Public school 84 1.6% 45 Private school 7 0 1% 20 Enrolled in kindergarten 67 1.3% 35 Public school 66 1.3% 35 Private school 1 0.0% 6 Enrolled in grade 1 to grade 4 245 4.8% 78 Public school 190 3.7% 36 Private school 55 1.1% 189 Enrolled in grade 5 to grade 8 336 6.6% 137 Public school 319 6 2% 144 Private school 17 0.3% 31 Enrolled in grade 9 to grade 12 270 5 3% 58 Public school 228 4.5% 67 Private school 42 0.8% 28 Enrolled in college undergraduate years 102 2.0% 50 Public school 37 0.7% 27 Private school 65 1.3% 48 Enrolled in graduate or professional school 42 0 8% 25 Public school 8 0.2% 21 Private school 34 0.7% 30 Not enrolled in school 3,966 77.5% 141 POPULATION AGE 65+ BY RELATIONSHIP AND HOUSEHOLD TYPE Total 570 100.0% 46 Living in Households 544 95 4% 45 Living in Family Households 260 45.6% 45 Householder 126 22 1% 24 Spouse 108 18 9% 27 Parent 4 0.7% 10 Parent-in-law 0 0 0% 0 Other Relative 12 2.1% 32 Nonrelative 9 1 6% 28 Living in Nonfamily Households 283 49 6% 50 Householder 282 49.5% 50 Nonrelative 2 0.4% 18 Living in Group Quarters 27 4 7% 15 Source: U.S. Census Bureau, 2017-2021 American Community Survey Reliability: high medium low July 17, 2023 ©2023 Esri Page 1 of 24
ACS Population Summary
1154 S Highway 97 Prepared by Esri 1154 S Highway 97, Redmond, Oregon, 97756 Latitude: 44.26582 Ring: 1 mile radius Longitude: -121.17419 2017-2021 ACS Estimate Percent MOE(±) Reliability HOUSEHOLDS BY TYPE AND SIZE Family Households 1,143 55 6% 50 2-Person 401 19.5% 33 3-Person 285 13 9% 62 4-Person 260 12 6% 37 5-Person 124 6 0% 21 6-Person 54 2.6% 80 7+ Person 18 0.9% 34 Nonfamily Households 914 44 5% 60 1-Person 758 36 9% 55 2-Person 136 6.6% 30 3-Person 14 0.7% 25 4-Person 6 0.3% 60 5-Person 0 0.0% 0 6-Person 0 0.0% 0 7+ Person 0 0.0% 0 HOUSEHOLDS BY PRESENCE OF PEOPLE UNDER 18 YEARS BY HOUSEHOLD TYPE Households with one or more people under 18 years 596 29.0% 45 Family households 594 28.9% 45 Married-couple family 387 18.8% 37 Male householder, no wife present 50 2.4% 42 Female householder, no husband present 158 7.7% 44 Nonfamily households 2 0.1% 16 Households with no people under 18 years 1,460 71.0% 59 Married-couple family 370 18.0% 32 Other family 178 8.7% 44 Nonfamily households 912 44.4% 60 HOUSEHOLDS BY PRESENCE OF PEOPLE 65 YEARS AND OVER, HOUSEHOLD SIZE AND HOUSEHOLD TYPE Households with Pop 65+ 500 24.3% 41 1-Person 291 14.2% 50 2+ Person Family 207 10.1% 29 2+ Person Nonfamily 2 0.1% 19 Households with No Pop 65+ 1,557 75.7% 64 1-Person 467 22.7% 50 2+ Person Family 936 45.5% 53 2+ Person Nonfamily 154 7.5% 35 HOUSEHOLD TYPE BY RELATIVES AND NONRELATIVES FOR POPULATION IN HOUSEHOLDS POPULATION IN HOUSEHOLDS Total 5,235 100.0% 236 In Family Households 4,186 80 0% 253 In Married-Couple Family 2,661 50 8% 193 Relatives 2,628 50 2% 191 Nonrelatives 33 0.6% 25 In Male Householder-No Spouse Present-Family 301 5.7% 179 Relatives 207 4 0% 126 Nonrelatives 94 1.8% 89 In Female Householder-No Spouse Present-Family 1,223 23 4% 293 Relatives 1,191 22.8% 298 Nonrelatives 32 0.6% 30 In Nonfamily Households 1,049 20 0% 75 Source: U.S. Census Bureau, 2017-2021 American Community Survey Reliability: high medium low July 17, 2023 ©2023 Esri Page 2 of 24
ACS Population Summary
1154 S Highway 97 Prepared by Esri 1154 S Highway 97, Redmond, Oregon, 97756 Latitude: 44.26582 Ring: 1 mile radius Longitude: -121.17419 2017-2021 ACS Estimate Percent MOE(±) Reliability POPULATION AGE 5+ YEARS BY LANGUAGE SPOKEN AT HOME AND ABILITY TO SPEAK ENGLISH Total 4,915 100.0% 191 5 to 17 years Speak only English 665 13 5% 94 Speak Spanish 249 5.1% 64 Speak English "very well" or "well" 202 4.1% 36 Speak English "not well" 47 1.0% 89 Speak English "not at all" 0 0 0% 0 Speak other Indo-European languages 0 0.0% 0 Speak English "very well" or "well" 0 0.0% 0 Speak English "not well" 0 0.0% 0 Speak English "not at all" 0 0 0% 0 Speak Asian and Pacific Island languages 11 0.2% 34 Speak English "very well" or "well" 0 0.0% 0 Speak English "not well" 11 0.2% 34 Speak English "not at all" 0 0 0% 0 Speak other languages 0 0.0% 0 Speak English "very well" or "well" 0 0.0% 0 Speak English "not well" 0 0.0% 0 Speak English "not at all" 0 0 0% 0 18 to 64 years Speak only English 2,973 60.5% 149 Speak Spanish 325 6.6% 71 Speak English "very well" or "well" 193 3 9% 65 Speak English "not well" 120 2.4% 57 Speak English "not at all" 12 0 2% 114 Speak other Indo-European languages 98 2.0% 83 Speak English "very well" or "well" 98 2.0% 83 Speak English "not well" 0 0.0% 0 Speak English "not at all" 0 0 0% 0 Speak Asian and Pacific Island languages 22 0.4% 38 Speak English "very well" or "well" 20 0.4% 33 Speak English "not well" 2 0.0% 19 Speak English "not at all" 0 0 0% 0 Speak other languages 0 0.0% 0 Speak English "very well" or "well" 0 0.0% 0 Speak English "not well" 0 0.0% 0 Speak English "not at all" 0 0 0% 0 65 years and over Speak only English 525 10 7% 45 Speak Spanish 41 0.8% 76 Speak English "very well" or "well" 0 0.0% 0 Speak English "not well" 0 0.0% 0 Speak English "not at all" 41 0 8% 76 Speak other Indo-European languages 0 0.0% 0 Speak English "very well" or "well" 0 0.0% 0 Speak English "not well" 0 0.0% 0 Speak English "not at all" 0 0 0% 0 Speak Asian and Pacific Island languages 4 0.1% 13 Speak English "very well" or "well" 4 0.1% 13 Speak English "not well" 0 0.0% 0 Speak English "not at all" 0 0 0% 0 Speak other languages 0 0.0% 0 Speak English "very well" or "well" 0 0.0% 0 Speak English "not well" 0 0.0% 0 Speak English "not at all" 0 0 0% 0 Source: U.S. Census Bureau, 2017-2021 American Community Survey Reliability: high medium low July 17, 2023 ©2023 Esri Page 3 of 24
ACS Population Summary
1154 S Highway 97 Prepared by Esri 1154 S Highway 97, Redmond, Oregon, 97756 Latitude: 44.26582 Ring: 1 mile radius Longitude: -121.17419 2017-2021 ACS Estimate Percent MOE(±) Reliability WORKERS AGE 16+ YEARS BY PLACE OF WORK Total 2,715 100.0% 127 Worked in state and in county of residence 2,582 95.1% 125 Worked in state and outside county of residence 82 3 0% 66 Worked outside state of residence 51 1.9% 16 SEX BY CLASS OF WORKER FOR THE CIVILIAN EMPLOYED POPULATION 16 YEARS AND OVER Total: 2,757 100.0% 126 Male: 1,340 48 6% 86 Employee of private company workers 900 32 6% 87 Self-employed in own incorporated business workers 93 3.4% 54 Private not-for-profit wage and salary workers 94 3.4% 31 Local government workers 64 2.3% 30 State government workers 37 1.3% 20 Federal government workers 58 2.1% 33 Self-employed in own not incorporated business workers 94 3.4% 34 Unpaid family workers 0 0.0% 0 Female: 1,416 51 4% 89 Employee of private company workers 914 33 2% 100 Self-employed in own incorporated business workers 86 3.1% 38 Private not-for-profit wage and salary workers 185 6.7% 54 Local government workers 111 4.0% 35 State government workers 65 2.4% 42 Federal government workers 2 0.1% 19 Self-employed in own not incorporated business workers 42 1.5% 50 Unpaid family workers 12 0 4% 23 POPULATION IN HOUSEHOLDS AND PRESENCE OF A COMPUTER Total 5,235 100.0% 236 Population <18 in Households 1,287 24 6% 105 Have a Computer 1,192 22 8% 126 Have NO Computer 95 1.8% 144 Population 18-64 in Households 3,404 65 0% 171 Have a Computer 3,276 62 6% 171 Have NO Computer 128 2.4% 40 Population 65+ in Households 544 10 4% 45 Have a Computer 486 9.3% 45 Have NO Computer 58 1 1% 29 HOUSEHOLDS AND INTERNET SUBSCRIPTIONS Total 2,056 100.0% 61 With an Internet Subscription 1,765 85.8% 62 Dial-Up Alone 5 0 2% 61 Broadband 1,466 71 3% 64 Satellite Service 103 5.0% 41 Other Service 18 0 9% 23 Internet Access with no Subscription 52 2.5% 43 With No Internet Access 239 11 6% 36 Source: U.S. Census Bureau, 2017-2021 American Community Survey Reliability: high medium low July 17, 2023 ©2023 Esri Page 4 of 24
ACS Population Summary
1154 S Highway 97 Prepared by Esri 1154 S Highway 97, Redmond, Oregon, 97756 Latitude: 44.26582 Ring: 1 mile radius Longitude: -121.17419 2017-2021 ACS Estimate Percent MOE(±) Reliability WORKERS AGE 16+ YEARS BY MEANS OF TRANSPORTATION TO WORK Total 2,715 100.0% 127 Drove alone 2,150 79 2% 114 Carpooled 225 8 3% 46 Public transportation (excluding taxicab) 75 2.8% 75 Bus or trolley bus 75 2.8% 75 Light rail, streetcar or trolley 0 0.0% 0 Subway or elevated 0 0.0% 0 Long-distance/Commuter Train 0 0.0% 0 Ferryboat 0 0.0% 0 Taxicab 0 0.0% 0 Motorcycle 0 0.0% 0 Bicycle 8 0.3% 21 Walked 104 3 8% 38 Other means 17 0.6% 31 Worked at home 135 5 0% 29
AGE 16+ YEARS (WHO DID NOT WORK FROM HOME) BY TRAVEL TIME TO WORK Total 2,579 100.0% 127 Less than 5 minutes 211 8.2% 42 5 to 9 minutes 717 27.8% 96 10 to 14 minutes 444 17 2% 61 15 to 19 minutes 114 4 4% 21 20 to 24 minutes 101 3.9% 33 25 to 29 minutes 238 9 2% 52 30 to 34 minutes 429 16.6% 39 35 to 39 minutes 88 3 4% 32 40 to 44 minutes 31 1.2% 29 45 to 59 minutes 57 2 2% 30 60 to 89 minutes 78 3.0% 109 90 or more minutes 71 2 8% 34 Average Travel Time to Work (in minutes) N/A N/A
20-64 YEARS
AGE
OWN CHILDREN AND EMPLOYMENT STATUS Total 1,828 100.0% 90 Own children under 6 years only 156 8.5% 123 In labor force 142 7 8% 135 Not in labor force 14 0.8% 38 Own children under 6 years and 6 to 17 years 80 4 4% 56 In labor force 49 2.7% 19 Not in labor force 30 1.6% 106 Own children 6 to 17 years only 384 21.0% 42 In labor force 256 14 0% 31 Not in labor force 128 7.0% 30 No own children under 18 years 1,209 66 1% 73 In labor force 1,072 58.6% 72 Not in labor force 137 7 5% 46 Source: U.S. Census Bureau, 2017-2021 American Community Survey Reliability: high medium low July 17, 2023 ©2023 Esri Page 5 of 24
ACS Population Summary
WORKERS
FEMALES AGE
BY
OF
1154 S Highway 97 Prepared by Esri 1154 S Highway 97, Redmond, Oregon, 97756 Latitude: 44.26582 Ring: 1 mile radius Longitude: -121.17419 2017-2021 ACS Estimate Percent MOE(±) Reliability CIVILIAN NONINSTITUTIONALIZED POPULATION BY AGE & TYPES OHEALINSURANCE COVERAGE OF HEALTH INSURANCE COVERAGE Total 5,263 100.0% 236 Under 19 years: 1,373 26 1% 126 One Type of Health Insurance: 1,268 24 1% 118 Employer-Based Health Ins Only 387 7.4% 82 Direct-Purchase Health Ins Only 87 1 7% 37 Medicare Coverage Only 0 0.0% 0 Medicaid Coverage Only 794 15 1% 136 TRICARE/Military Hlth Cov Only 0 0.0% 0 VA Health Care Only 0 0.0% 0 2+ Types of Health Insurance 100 1.9% 132 No Health Insurance Coverage 5 0.1% 58 19 to 34 years: 1,296 24.6% 153 One Type of Health Insurance: 1,020 19.4% 87 Employer-Based Health Ins Only 694 13 2% 57 Direct-Purchase Health Ins Only 13 0.2% 38 Medicare Coverage Only 0 0.0% 0 Medicaid Coverage Only 312 5 9% 98 TRICARE/Military Hlth Cov Only 0 0.0% 0 VA Health Care Only 1 0 0% 9 2+ Types of Health Insurance 190 3.6% 158 No Health Insurance Coverage 85 1 6% 43 35 to 64 years: 2,034 38 6% 97 One Type of Health Insurance: 1,328 25 2% 73 Employer-Based Health Ins Only 818 15 5% 68 Direct-Purchase Health Ins Only 210 4 0% 54 Medicare Coverage Only 38 0.7% 36 Medicaid Coverage Only 228 4 3% 39 TRICARE/Military Hlth Cov Only 28 0.5% 24 VA Health Care Only 6 0 1% 60 2+ Types of Health Insurance 312 5.9% 97 No Health Insurance Coverage 394 7.5% 78 65+ years: 561 10.7% 45 One Type of Health Insurance: 206 3.9% 40 Employer-Based Health Ins Only 38 0.7% 48 Direct-Purchase Health Ins Only 0 0.0% 0 Medicare Coverage Only 168 3.2% 35 TRICARE/Military Hlth Cov Only 0 0 0% 0 VA Health Care Only 0 0.0% 0 2+ Types of Health Insurance: 351 6 7% 38 Employer-Based & Direct-Purchase Health Insurance 0 0.0% 0 Employer-Based Health & Medicare Insurance 44 0.8% 16 Direct-Purchase Health & Medicare Insurance 109 2.1% 54 Medicare & Medicaid Coverage 33 0.6% 20 Other Private Health Insurance Combos 0 0.0% 0 Other Public Health Insurance Combos 3 0 1% 25 Other Health Insurance Combinations 163 3.1% 35 No Health Insurance Coverage 4 0.1% 13 Source: U.S. Census Bureau, 2017-2021 American Community Survey Reliability: high medium low July 17, 2023 ©2023 Esri Page 6 of 24
ACS Population Summary

CIVILIAN POPULATION AGE 18 OR OLDER BY VETERAN STATUS

VETERANS AGE 18 OR OLDER BY PERIOD OF

BY POVERTY

1154 S Highway 97 Prepared by Esri 1154 S Highway 97, Redmond, Oregon, 97756 Latitude: 44.26582 Ring: 1 mile radius Longitude: -121.17419 2017-2021 ACS Estimate Percent MOE(±) Reliability POPULATION BY RATIO OF
LEVEL Total 5,256 100.0% 236 Under 50 277 5.3% 90 50 to 99 168 3 2% 106 1 00 to 1 24 257 4.9% 72 1 25 to 1 49 672 12 8% 373 1 50 to 1 84 443 8.4% 176 1 85 to 1 99 203 3 9% 460 2 00 and over 3,237 61 6% 157
ACS Population Summary
INCOME TO POVERTY
Total 3,989 100.0% 155 Veteran 298 7.5% 101 Nonveteran 3,691 92.5% 124 Male 1,764 44 2% 92 Veteran 298 7 5% 101 Nonveteran 1,466 36 8% 75 Female 2,225 55 8% 95 Veteran 0 0.0% 0 Nonveteran 2,225 55 8% 95
MILITARY SERVICE Total 298 100.0% 101 Gulf War (9/01 or later), no Gulf War (8/90 to 8/01), no Vietnam Era 146 49 0% 184 Gulf War (9/01 or later) and Gulf War (8/90 to 8/01), no Vietnam Era 16 5.4% 15 Gulf War (9/01 or later), and Gulf War (8/90 to 8/01), and Vietnam Era 0 0.0% 0 Gulf War (8/90 to 8/01), no Vietnam Era 14 4.7% 32 Gulf War (8/90 to 8/01) and Vietnam Era 0 0.0% 0 Vietnam Era, no Korean War, no World War II 82 27.5% 19 Vietnam Era and Korean War, no World War II 0 0.0% 0 Vietnam Era and Korean War and World War II 0 0.0% 0 Korean War, no Vietnam Era, no World War II 0 0.0% 0 Korean War and World War II, no Vietnam Era 0 0 0% 0 World War II, no Korean War, no Vietnam Era 0 0.0% 0 Between Gulf War and Vietnam Era only 39 13.1% 57 Between Vietnam Era and Korean War only 0 0.0% 0 Between Korean War and World War II only 0 0.0% 0 Pre-World War II only 0 0.0% 0 HOUSEHOLDS
STATUS Total 2,056 100.0% 61 Income in the past 12 months below poverty level 176 8.6% 37 Married-couple family 14 0.7% 22 Other family - male householder (no wife present) 0 0.0% 0 Other family - female householder (no husband present) 57 2.8% 20 Nonfamily household - male householder 70 3.4% 62 Nonfamily household - female householder 35 1.7% 40 Income in the past 12 months at or above poverty level 1,880 91 4% 58 Married-couple family 743 36 1% 44 Other family - male householder (no wife present) 73 3.6% 31 Other family - female householder (no husband present) 256 12.5% 55 Nonfamily household - male householder 279 13.6% 33 Nonfamily household - female householder 529 25 7% 53 Poverty Index 69 Source: U.S. Census Bureau, 2017-2021 American Community Survey Reliability: high medium low July 17, 2023 ©2023 Esri Page 7 of 24
CIVILIAN

Data Note: N/A means not available Population by Ratio of Income to Poverty Level represents persons for whom poverty status is determined. Household income represents income in 2021, adjusted for inflation

2017-2021 ACS Estimate: The American Community Survey (ACS) replaces census sample data. Esri is releasing the 2017-2021 ACS estimates, five-year period data collected monthly from January 1, 2017 through December 31, 2021. Although the ACS includes many of the subjects previously covered by the decennial census sample, there are significant differences between the two surveys including fundamental differences in survey design and residency rules

Margin of error (MOE): The MOE is a measure of the variability of the estimate due to sampling error. MOEs enable the data user to measure the range of uncertainty for each estimate with 90 percent confidence. The range of uncertainty is called the confidence interval, and it is calculated by taking the estimate +/- the MOE. For example, if the ACS reports an estimate of 100 with an MOE of +/- 20, then you can be 90 percent certain the value for the whole population falls between 80 and 120.

Reliability: These symbols represent threshold values that Esri has established from the Coefficients of Variation (CV) to designate the usability of the estimates. The CV measures the amount of sampling error relative to the size of the estimate, expressed as a percentage

High Reliability: Small CVs (less than or equal to 12 percent) are flagged green to indicate that the sampling error is small relative to the estimate and the estimate is reasonably reliable.

Medium Reliability: Estimates with CVs between 12 and 40 are flagged yellow-use with caution.

Low Reliability: Large CVs (over 40 percent) are flagged red to indicate that the sampling error is large relative to the estimate. The estimate is considered very unreliable.

Source: U.S. Census Bureau, 2017-2021 American Community Survey

Reliability: high medium low

1154 S Highway 97 Prepared by Esri 1154 S Highway 97, Redmond, Oregon, 97756 Latitude: 44.26582 Ring: 1 mile radius Longitude: -121.17419 2017-2021 ACS Estimate Percent MOE(±) Reliability HOUSEHOLDS BY OTHER INCOME Social Security Income 604 29 4% 39 No Social Security Income 1,452 70.6% 63 Retirement Income 277 13 5% 45 No Retirement Income 1,779 86 5% 63 GROSS RENT AS A PERCENTAGE OF HOUSEHOLD INCOME IN THE PAST 12 MONTHS <10% of Income 49 4.8% 106 10-14 9% of Income 51 5.0% 36 15-19 9% of Income 152 14 8% 29 20-24 9% of Income 179 17 4% 39 25-29.9% of Income 140 13.6% 42 30-34 9% of Income 100 9.7% 32 35-39 9% of Income 67 6 5% 47 40-49 9% of Income 45 4.4% 19 50+% of Income 234 22 8% 34 Gross Rent % Inc Not Computed 12 1.2% 27 HOUSEHOLDS BY PUBLIC ASSISTANCE INCOME IN THE PAST 12 MONTHS Total 2,056 100.0% 61 With public assistance income 124 6.0% 44 No public assistance income 1,933 94.0% 62 HOUSEHOLDS BY FOOD STAMPS/SNAP STATUS Total 2,056 100.0% 61 With Food Stamps/SNAP 516 25.1% 41 With No Food Stamps/SNAP 1,541 75.0% 57 HOUSEHOLDS BY DISABILITY STATUS Total 2,056 100.0% 61 With 1+ Persons w/Disability 445 21.6% 44 With No Person w/Disability 1,611 78.4% 66
ACS Population Summary
July
2023 ©2023 Esri Page 8 of 24
17,
1154 S Highway 97 Prepared by Esri 1154 S Highway 97, Redmond, Oregon, 97756 Latitude: 44.26582 Ring: 3 mile radius Longitude: -121.17419 2017-2021 ACS Estimate Percent MOE(±) Reliability TOTALS Total Population 33,348 2,188 Total Households 12,779 694 Total Housing Units 13,106 706 POPULATION AGE 3+ YEARS BY SCHOOL ENROLLMENT Total 32,154 100.0% 2,118 Enrolled in school 7,004 21 8% 903 Enrolled in nursery school, preschool 476 1 5% 222 Public school 297 0.9% 178 Private school 179 0 6% 132 Enrolled in kindergarten 241 0.7% 178 Public school 236 0 7% 178 Private school 5 0.0% 9 Enrolled in grade 1 to grade 4 1,773 5.5% 477 Public school 1,330 4.1% 363 Private school 443 1 4% 318 Enrolled in grade 5 to grade 8 1,805 5.6% 379 Public school 1,602 5 0% 356 Private school 204 0.6% 116 Enrolled in grade 9 to grade 12 1,685 5 2% 431 Public school 1,548 4.8% 423 Private school 136 0 4% 82 Enrolled in college undergraduate years 884 2.7% 250 Public school 780 2.4% 230 Private school 104 0.3% 100 Enrolled in graduate or professional school 141 0 4% 79 Public school 55 0.2% 50 Private school 86 0.3% 61 Not enrolled in school 25,150 78.2% 1,267 POPULATION AGE 65+ BY RELATIONSHIP AND HOUSEHOLD TYPE Total 5,046 100.0% 492 Living in Households 4,935 97 8% 487 Living in Family Households 3,294 65 3% 442 Householder 1,722 34 1% 259 Spouse 1,219 24 2% 208 Parent 33 0.7% 25 Parent-in-law 101 2 0% 101 Other Relative 139 2.8% 81 Nonrelative 81 1.6% 68 Living in Nonfamily Households 1,641 32 5% 269 Householder 1,553 30.8% 249 Nonrelative 88 1.7% 73 Living in Group Quarters 111 2 2% 73 Source: U.S. Census Bureau, 2017-2021 American Community Survey Reliability: high medium low July 17, 2023 ©2023 Esri Page 9 of 24
ACS Population Summary
1154 S Highway 97 Prepared by Esri 1154 S Highway 97, Redmond, Oregon, 97756 Latitude: 44.26582 Ring: 3 mile radius Longitude: -121.17419 2017-2021 ACS Estimate Percent MOE(±) Reliability HOUSEHOLDS BY TYPE AND SIZE Family Households 8,147 63 8% 640 2-Person 3,186 24.9% 414 3-Person 2,219 17 4% 455 4-Person 1,467 11 5% 402 5-Person 770 6 0% 201 6-Person 395 3.1% 213 7+ Person 110 0.9% 75 Nonfamily Households 4,632 36 2% 506 1-Person 3,332 26 1% 401 2-Person 1,019 8.0% 327 3-Person 242 1 9% 134 4-Person 40 0.3% 64 5-Person 0 0.0% 0 6-Person 0 0.0% 0 7+ Person 0 0.0% 0 HOUSEHOLDS BY PRESENCE OF PEOPLE UNDER 18 YEARS BY HOUSEHOLD TYPE Households with one or more people under 18 years 3,989 31.2% 524 Family households 3,977 31.1% 523 Married-couple family 2,808 22.0% 488 Male householder, no wife present 416 3.3% 182 Female householder, no husband present 753 5.9% 347 Nonfamily households 12 0.1% 19 Households with no people under 18 years 8,790 68.8% 601 Married-couple family 3,339 26.1% 406 Other family 831 6.5% 269 Nonfamily households 4,620 36.2% 506 HOUSEHOLDS BY PRESENCE OF PEOPLE 65 YEARS AND OVER, HOUSEHOLD SIZE AND HOUSEHOLD TYPE Households with Pop 65+ 3,645 28.5% 334 1-Person 1,440 11.3% 247 2+ Person Family 2,090 16.4% 266 2+ Person Nonfamily 115 0.9% 73 Households with No Pop 65+ 9,135 71.5% 708 1-Person 1,892 14.8% 342 2+ Person Family 6,057 47.4% 635 2+ Person Nonfamily 1,185 9.3% 352 HOUSEHOLD TYPE
RELATIVES AND NONRELATIVES
IN HOUSEHOLDS POPULATION IN HOUSEHOLDS Total 33,142 100.0% 2,185 In Family Households 26,726 80 6% 2,192 In Married-Couple Family 20,243 61 1% 2,191 Relatives 20,023 60 4% 2,167 Nonrelatives 220 0.7% 109 In Male Householder-No Spouse Present-Family 1,996 6.0% 749 Relatives 1,353 4 1% 484 Nonrelatives 643 1.9% 368 In Female Householder-No Spouse Present-Family 4,487 13 5% 1,276 Relatives 4,088 12.3% 1,115 Nonrelatives 400 1 2% 279 In Nonfamily Households 6,416 19 4% 877 Source: U.S. Census Bureau, 2017-2021 American Community Survey Reliability: high medium low July 17, 2023 ©2023 Esri Page 10 of 24
ACS Population Summary
BY
FOR POPULATION
1154 S Highway 97 Prepared by Esri 1154 S Highway 97, Redmond, Oregon, 97756 Latitude: 44.26582 Ring: 3 mile radius Longitude: -121.17419 2017-2021 ACS Estimate Percent MOE(±) Reliability POPULATION AGE 5+ YEARS BY LANGUAGE SPOKEN AT HOME AND ABILITY TO SPEAK ENGLISH Total 31,495 100.0% 2,062 5 to 17 years Speak only English 4,704 14 9% 797 Speak Spanish 957 3.0% 464 Speak English "very well" or "well" 845 2.7% 430 Speak English "not well" 112 0.4% 113 Speak English "not at all" 0 0 0% 0 Speak other Indo-European languages 0 0.0% 0 Speak English "very well" or "well" 0 0.0% 0 Speak English "not well" 0 0.0% 0 Speak English "not at all" 0 0 0% 0 Speak Asian and Pacific Island languages 19 0.1% 35 Speak English "very well" or "well" 0 0.0% 0 Speak English "not well" 19 0.1% 35 Speak English "not at all" 0 0 0% 0 Speak other languages 0 0.0% 0 Speak English "very well" or "well" 0 0.0% 0 Speak English "not well" 0 0.0% 0 Speak English "not at all" 0 0 0% 0 18 to 64 years Speak only English 18,260 58.0% 1,453 Speak Spanish 2,031 6.4% 553 Speak English "very well" or "well" 1,438 4 6% 441 Speak English "not well" 495 1.6% 316 Speak English "not at all" 98 0 3% 122 Speak other Indo-European languages 366 1.2% 194 Speak English "very well" or "well" 366 1 2% 193 Speak English "not well" 0 0.0% 0 Speak English "not at all" 0 0 0% 0 Speak Asian and Pacific Island languages 111 0.4% 84 Speak English "very well" or "well" 94 0.3% 73 Speak English "not well" 17 0.1% 27 Speak English "not at all" 0 0 0% 0 Speak other languages 0 0.0% 0 Speak English "very well" or "well" 0 0.0% 0 Speak English "not well" 0 0.0% 0 Speak English "not at all" 0 0 0% 0 65 years and over Speak only English 4,620 14 7% 456 Speak Spanish 185 0.6% 90 Speak English "very well" or "well" 103 0 3% 79 Speak English "not well" 30 0.1% 49 Speak English "not at all" 52 0 2% 78 Speak other Indo-European languages 190 0.6% 204 Speak English "very well" or "well" 190 0 6% 210 Speak English "not well" 0 0.0% 0 Speak English "not at all" 0 0 0% 0 Speak Asian and Pacific Island languages 51 0.2% 63 Speak English "very well" or "well" 48 0.2% 65 Speak English "not well" 3 0.0% 35 Speak English "not at all" 0 0 0% 0 Speak other languages 0 0.0% 0 Speak English "very well" or "well" 0 0.0% 0 Speak English "not well" 0 0.0% 0 Speak English "not at all" 0 0 0% 0 Source: U.S. Census Bureau, 2017-2021 American Community Survey Reliability: high medium low July 17, 2023 ©2023 Esri Page 11 of 24
ACS Population Summary
ACS Population Summary 1154 S Highway 97 Prepared by Esri 1154 S Highway 97, Redmond, Oregon, 97756 Latitude: 44.26582 Ring: 3 mile radius Longitude: -121.17419 2017-2021 ACS Estimate Percent MOE(±) Reliability WORKERS AGE 16+ YEARS BY PLACE OF WORK Total 16,186 100.0% 1,319 Worked in state and in county of residence 14,955 92.4% 1,311 Worked in state and outside county of residence 1,063 6 6% 349 Worked outside state of residence 168 1.0% 95 SEX BY CLASS OF WORKER FOR THE CIVILIAN EMPLOYED POPULATION 16 YEARS AND OVER Total: 16,567 100.0% 1,338 Male: 8,345 50 4% 809 Employee of private company workers 5,993 36 2% 781 Self-employed in own incorporated business workers 669 4.0% 165 Private not-for-profit wage and salary workers 240 1.4% 115 Local government workers 263 1.6% 117 State government workers 174 1 1% 98 Federal government workers 185 1.1% 88 Self-employed in own not incorporated business workers 821 5 0% 398 Unpaid family workers 0 0.0% 0 Female: 8,221 49 6% 799 Employee of private company workers 5,167 31 2% 752 Self-employed in own incorporated business workers 393 2 4% 138 Private not-for-profit wage and salary workers 1,118 6.7% 261 Local government workers 792 4.8% 263 State government workers 163 1.0% 104 Federal government workers 98 0.6% 74 Self-employed in own not incorporated business workers 475 2.9% 188 Unpaid family workers 15 0 1% 23 POPULATION IN HOUSEHOLDS AND PRESENCE OF A COMPUTER Total 33,142 100.0% 2,185 Population <18 in Households 7,533 22 7% 978 Have a Computer 7,419 22 4% 978 Have NO Computer 114 0.3% 149 Population 18-64 in Households 20,674 62 4% 1,537 Have a Computer 20,371 61 5% 1,546 Have NO Computer 303 0.9% 168 Population 65+ in Households 4,935 14 9% 487 Have a Computer 4,506 13.6% 475 Have NO Computer 429 1 3% 214 HOUSEHOLDS AND INTERNET SUBSCRIPTIONS Total 12,779 100.0% 694 With an Internet Subscription 11,666 91.3% 695 Dial-Up Alone 81 0 6% 76 Broadband 9,379 73 4% 716 Satellite Service 1,191 9 3% 309 Other Service 57 0 4% 41 Internet Access with no Subscription 149 1.2% 62 With No Internet Access 965 7 6% 241 Source: U.S. Census Bureau, 2017-2021 American Community Survey Reliability: high medium low July 17, 2023 ©2023 Esri Page 12 of 24

WORKERS AGE 16+ YEARS (WHO DID NOT WORK FROM HOME)

1154 S Highway 97 Prepared by Esri 1154 S Highway 97, Redmond, Oregon, 97756 Latitude: 44.26582 Ring: 3 mile radius Longitude: -121.17419 2017-2021 ACS Estimate Percent MOE(±) Reliability
AGE 16+ YEARS BY MEANS OF TRANSPORTATION TO WORK Total 16,186 100.0% 1,319 Drove alone 12,349 76 3% 1,236 Carpooled 1,580 9 8% 340 Public transportation (excluding taxicab) 134 0.8% 131 Bus or trolley bus 134 0 8% 131 Light rail, streetcar or trolley 0 0.0% 0 Subway or elevated 0 0.0% 0 Long-distance/Commuter Train 0 0.0% 0 Ferryboat 0 0.0% 0 Taxicab 57 0.4% 81 Motorcycle 85 0.5% 100 Bicycle 131 0.8% 131 Walked 239 1 5% 111 Other means 194 1.2% 232 Worked at home 1,417 8 8% 343
ACS Population Summary
WORKERS
BY TRAVEL TIME TO WORK Total 14,769 100.0% 1,276 Less than 5 minutes 778 5.3% 230 5 to 9 minutes 2,561 17.3% 522 10 to 14 minutes 2,669 18 1% 550 15 to 19 minutes 1,180 8 0% 295 20 to 24 minutes 1,909 12 9% 498 25 to 29 minutes 2,013 13 6% 681 30 to 34 minutes 2,303 15.6% 431 35 to 39 minutes 364 2 5% 149 40 to 44 minutes 361 2.4% 131 45 to 59 minutes 276 1 9% 99 60 to 89 minutes 170 1.2% 131 90 or more minutes 186 1 3% 113 Average Travel Time to Work (in minutes) N/A N/A FEMALES AGE 20-64 YEARS BY AGE OF OWN CHILDREN AND EMPLOYMENT STATUS Total 10,634 100.0% 885 Own children under 6 years only 1,135 10.7% 406 In labor force 943 8 9% 378 Not in labor force 192 1.8% 153 Own children under 6 years and 6 to 17 years 653 6 1% 279 In labor force 402 3.8% 210 Not in labor force 251 2 4% 185 Own children 6 to 17 years only 2,065 19.4% 440 In labor force 1,675 15 8% 404 Not in labor force 390 3.7% 172 No own children under 18 years 6,780 63 8% 785 In labor force 5,312 50.0% 740 Not in labor force 1,468 13 8% 298 Source: U.S. Census Bureau, 2017-2021 American Community Survey Reliability: high medium low July 17, 2023 ©2023 Esri Page 13 of 24
1154 S Highway 97 Prepared by Esri 1154 S Highway 97, Redmond, Oregon, 97756 Latitude: 44.26582 Ring: 3 mile radius Longitude: -121.17419 2017-2021 ACS Estimate Percent MOE(±) Reliability CIVILIAN NONINSTITUTIONALIZED POPULATION BY AGE & TYPES OHEALINSURANCE COVERAGE OF HEALTH INSURANCE COVERAGE Total 33,308 100.0% 2,186 Under 19 years: 8,035 24 1% 1,020 One Type of Health Insurance: 7,400 22 2% 984 Employer-Based Health Ins Only 2,366 7.1% 494 Direct-Purchase Health Ins Only 596 1 8% 398 Medicare Coverage Only 0 0.0% 0 Medicaid Coverage Only 4,271 12 8% 843 TRICARE/Military Hlth Cov Only 168 0.5% 162 VA Health Care Only 0 0.0% 0 2+ Types of Health Insurance 523 1.6% 272 No Health Insurance Coverage 113 0.3% 99 19 to 34 years: 7,004 21.0% 982 One Type of Health Insurance: 5,605 16.8% 747 Employer-Based Health Ins Only 3,691 11 1% 579 Direct-Purchase Health Ins Only 478 1 4% 311 Medicare Coverage Only 0 0.0% 0 Medicaid Coverage Only 1,339 4 0% 411 TRICARE/Military Hlth Cov Only 89 0.3% 64 VA Health Care Only 9 0 0% 16 2+ Types of Health Insurance 748 2.2% 357 No Health Insurance Coverage 652 2 0% 321 35 to 64 years: 13,253 39 8% 1,224 One Type of Health Insurance: 9,386 28 2% 1,044 Employer-Based Health Ins Only 6,042 18 1% 939 Direct-Purchase Health Ins Only 1,295 3 9% 427 Medicare Coverage Only 206 0.6% 112 Medicaid Coverage Only 1,645 4 9% 335 TRICARE/Military Hlth Cov Only 106 0.3% 75 VA Health Care Only 93 0 3% 74 2+ Types of Health Insurance 2,193 6.6% 494 No Health Insurance Coverage 1,674 5.0% 508 65+ years: 5,015 15.1% 488 One Type of Health Insurance: 1,838 5.5% 347 Employer-Based Health Ins Only 78 0.2% 51 Direct-Purchase Health Ins Only 0 0.0% 0 Medicare Coverage Only 1,759 5.3% 346 TRICARE/Military Hlth Cov Only 0 0 0% 0 VA Health Care Only 0 0.0% 0 2+ Types of Health Insurance: 3,171 9 5% 405 Employer-Based & Direct-Purchase Health Insurance 0 0.0% 0 Employer-Based Health & Medicare Insurance 473 1 4% 130 Direct-Purchase Health & Medicare Insurance 1,307 3.9% 309 Medicare & Medicaid Coverage 291 0 9% 95 Other Private Health Insurance Combos 0 0.0% 0 Other Public Health Insurance Combos 78 0.2% 35 Other Health Insurance Combinations 1,021 3.1% 237 No Health Insurance Coverage 7 0.0% 13 Source: U.S. Census Bureau, 2017-2021 American Community Survey Reliability: high medium low July 17, 2023 ©2023 Esri Page 14 of 24
ACS Population Summary

CIVILIAN POPULATION AGE 18 OR OLDER BY VETERAN STATUS

CIVILIAN VETERANS AGE 18 OR OLDER BY PERIOD OF MILITARY SERVICE

1154 S Highway 97 Prepared by Esri 1154 S Highway 97, Redmond, Oregon, 97756 Latitude: 44.26582 Ring: 3 mile radius Longitude: -121.17419 2017-2021 ACS Estimate Percent MOE(±) Reliability POPULATION BY RATIO OF
Total 33,154 100.0% 2,183 Under 50 1,240 3.7% 368 50 to 99 1,469 4 4% 419 1 00 to 1 24 1,441 4.3% 595 1 25 to 1 49 2,739 8 3% 1,021 1 50 to 1 84 2,474 7.5% 941 1 85 to 1 99 615 1 9% 518 2 00 and over 23,176 69 9% 2,029
ACS Population Summary
INCOME TO POVERTY LEVEL
Total 25,813 100.0% 1,534 Veteran 2,164 8.4% 375 Nonveteran 23,649 91.6% 1,448 Male 11,687 45 3% 861 Veteran 1,948 7 5% 348 Nonveteran 9,739 37 7% 811 Female 14,126 54.7% 932 Veteran 216 0.8% 132 Nonveteran 13,910 53 9% 929
Total 2,164 100.0% 375 Gulf War (9/01 or later), no Gulf War (8/90 to 8/01), no Vietnam Era 492 22 7% 295 Gulf War (9/01 or later) and Gulf War (8/90 to 8/01), no Vietnam Era 55 2.5% 45 Gulf War (9/01 or later), and Gulf War (8/90 to 8/01), and Vietnam Era 0 0.0% 0 Gulf War (8/90 to 8/01), no Vietnam Era 246 11.4% 133 Gulf War (8/90 to 8/01) and Vietnam Era 0 0.0% 0 Vietnam Era, no Korean War, no World War II 736 34 0% 171 Vietnam Era and Korean War, no World War II 0 0.0% 0 Vietnam Era and Korean War and World War II 0 0.0% 0 Korean War, no Vietnam Era, no World War II 63 2.9% 30 Korean War and World War II, no Vietnam Era 0 0 0% 0 World War II, no Korean War, no Vietnam Era 35 1.6% 60 Between Gulf War and Vietnam Era only 436 20 1% 138 Between Vietnam Era and Korean War only 100 4.6% 27 Between Korean War and World War II only 0 0.0% 0 Pre-World War II only 0 0.0% 0 HOUSEHOLDS BY POVERTY STATUS Total 12,779 100.0% 694 Income in the past 12 months below poverty level 1,160 9.1% 245 Married-couple family 158 1 2% 69 Other family - male householder (no wife present) 62 0.5% 81 Other family - female householder (no husband present) 213 1 7% 108 Nonfamily household - male householder 254 2.0% 139 Nonfamily household - female householder 472 3.7% 155 Income in the past 12 months at or above poverty level 11,620 90 9% 695 Married-couple family 5,989 46 9% 625 Other family - male householder (no wife present) 471 3.7% 181 Other family - female householder (no husband present) 1,254 9.8% 422 Nonfamily household - male householder 1,281 10.0% 264 Nonfamily household - female householder 2,624 20 5% 423 Poverty Index 73 Source: U.S. Census Bureau, 2017-2021 American Community Survey Reliability: high medium low July 17, 2023 ©2023 Esri Page 15 of 24

Data Note: N/A means not available Population by Ratio of Income to Poverty Level represents persons for whom poverty status is determined. Household income represents income in 2021, adjusted for inflation

2017-2021 ACS Estimate: The American Community Survey (ACS) replaces census sample data. Esri is releasing the 2017-2021 ACS estimates, five-year period data collected monthly from January 1, 2017 through December 31, 2021. Although the ACS includes many of the subjects previously covered by the decennial census sample, there are significant differences between the two surveys including fundamental differences in survey design and residency rules

Margin of error (MOE): The MOE is a measure of the variability of the estimate due to sampling error. MOEs enable the data user to measure the range of uncertainty for each estimate with 90 percent confidence. The range of uncertainty is called the confidence interval, and it is calculated by taking the estimate +/- the MOE. For example, if the ACS reports an estimate of 100 with an MOE of +/- 20, then you can be 90 percent certain the value for the whole population falls between 80 and 120.

Reliability: These symbols represent threshold values that Esri has established from the Coefficients of Variation (CV) to designate the usability of the estimates. The CV measures the amount of sampling error relative to the size of the estimate, expressed as a percentage

High Reliability: Small CVs (less than or equal to 12 percent) are flagged green to indicate that the sampling error is small relative to the estimate and the estimate is reasonably reliable.

Medium Reliability: Estimates with CVs between 12 and 40 are flagged yellow-use with caution.

Low Reliability: Large CVs (over 40 percent) are flagged red to indicate that the sampling error is large relative to the estimate. The estimate is considered very unreliable.

Source: U.S. Census Bureau, 2017-2021 American Community Survey Reliability: high medium low July 17, 2023

1154 S Highway 97 Prepared by Esri 1154 S Highway 97, Redmond, Oregon, 97756 Latitude: 44.26582 Ring: 3 mile radius Longitude: -121.17419 2017-2021 ACS Estimate Percent MOE(±) Reliability HOUSEHOLDS BY OTHER INCOME Social Security Income 4,348 34 0% 438 No Social Security Income 8,432 66.0% 678 Retirement Income 2,506 19 6% 289 No Retirement Income 10,273 80 4% 712 GROSS RENT AS A PERCENTAGE OF HOUSEHOLD INCOME IN THE PAST 12 MONTHS <10% of Income 138 3 2% 108 10-14 9% of Income 406 9.3% 224 15-19 9% of Income 582 13 4% 244 20-24 9% of Income 458 10 5% 188 25-29.9% of Income 514 11.8% 210 30-34 9% of Income 318 7.3% 152 35-39 9% of Income 409 9 4% 277 40-49 9% of Income 398 9.1% 127 50+% of Income 1,064 24 4% 185 Gross Rent % Inc Not Computed 70 1.6% 66 HOUSEHOLDS BY PUBLIC ASSISTANCE INCOME IN THE PAST 12 MONTHS Total 12,779 100.0% 694 With public assistance income 428 3.3% 152 No public assistance income 12,352 96.7% 695 HOUSEHOLDS BY FOOD STAMPS/SNAP STATUS Total 12,779 100.0% 694 With Food Stamps/SNAP 1,982 15.5% 327 With No Food Stamps/SNAP 10,798 84.5% 687 HOUSEHOLDS BY DISABILITY STATUS Total 12,779 100.0% 694 With 1+ Persons w/Disability 3,776 29.5% 436 With No Person w/Disability 9,004 70.5% 729
ACS Population Summary
©2023 Esri Page 16 of 24
1154 S Highway 97 Prepared by Esri 1154 S Highway 97, Redmond, Oregon, 97756 Latitude: 44.26582 Ring: 5 mile radius Longitude: -121.17419 2017-2021 ACS Estimate Percent MOE(±) Reliability TOTALS Total Population 38,976 2,502 Total Households 15,222 880 Total Housing Units 15,823 890 POPULATION AGE 3+ YEARS BY SCHOOL ENROLLMENT Total 37,704 100.0% 2,439 Enrolled in school 7,915 21 0% 1,026 Enrolled in nursery school, preschool 536 1 4% 242 Public school 328 0.9% 192 Private school 207 0 5% 149 Enrolled in kindergarten 256 0.7% 179 Public school 236 0 6% 179 Private school 20 0.1% 24 Enrolled in grade 1 to grade 4 1,944 5.2% 536 Public school 1,500 4.0% 436 Private school 444 1 2% 320 Enrolled in grade 5 to grade 8 2,150 5.7% 468 Public school 1,923 5 1% 444 Private school 227 0.6% 145 Enrolled in grade 9 to grade 12 1,797 4 8% 450 Public school 1,655 4.4% 440 Private school 142 0 4% 97 Enrolled in college undergraduate years 1,082 2.9% 325 Public school 965 2.6% 310 Private school 117 0.3% 100 Enrolled in graduate or professional school 150 0 4% 85 Public school 55 0.1% 50 Private school 95 0.3% 68 Not enrolled in school 29,789 79.0% 1,528 POPULATION AGE 65+ BY RELATIONSHIP AND HOUSEHOLD TYPE Total 6,670 100.0% 738 Living in Households 6,549 98 2% 731 Living in Family Households 4,559 68 4% 624 Householder 2,381 35 7% 346 Spouse 1,767 26 5% 292 Parent 43 0.6% 38 Parent-in-law 126 1 9% 129 Other Relative 158 2.4% 104 Nonrelative 84 1.3% 82 Living in Nonfamily Households 1,990 29 8% 460 Householder 1,871 28.1% 445 Nonrelative 119 1.8% 88 Living in Group Quarters 121 1 8% 97 Source:
Census
Reliability: high medium low July 17, 2023 ©2023 Esri Page 17 of 24
ACS Population Summary
U.S.
Bureau, 2017-2021 American Community Survey
1154 S Highway 97 Prepared by Esri 1154 S Highway 97, Redmond, Oregon, 97756 Latitude: 44.26582 Ring: 5 mile radius Longitude: -121.17419 2017-2021 ACS Estimate Percent MOE(±) Reliability HOUSEHOLDS BY TYPE AND SIZE Family Households 9,936 65 3% 742 2-Person 4,293 28.2% 518 3-Person 2,653 17 4% 521 4-Person 1,618 10 6% 431 5-Person 822 5 4% 256 6-Person 404 2.7% 217 7+ Person 146 1.0% 112 Nonfamily Households 5,287 34 7% 699 1-Person 3,807 25 0% 598 2-Person 1,154 7.6% 373 3-Person 262 1 7% 168 4-Person 64 0.4% 71 5-Person 0 0.0% 0 6-Person 0 0.0% 0 7+ Person 0 0.0% 0 HOUSEHOLDS BY PRESENCE OF PEOPLE UNDER 18 YEARS BY HOUSEHOLD TYPE Households with one or more people under 18 years 4,535 29.8% 595 Family households 4,495 29.5% 595 Married-couple family 3,135 20.6% 550 Male householder, no wife present 565 3.7% 216 Female householder, no husband present 795 5.2% 362 Nonfamily households 40 0.3% 54 Households with no people under 18 years 10,688 70.2% 782 Married-couple family 4,464 29.3% 501 Other family 977 6.4% 315 Nonfamily households 5,247 34.5% 699 HOUSEHOLDS BY PRESENCE OF PEOPLE 65 YEARS AND OVER, HOUSEHOLD SIZE AND HOUSEHOLD TYPE Households with Pop 65+ 4,759 31.3% 545 1-Person 1,682 11.0% 432 2+ Person Family 2,870 18.9% 381 2+ Person Nonfamily 207 1.4% 136 Households with No Pop 65+ 10,464 68.7% 837 1-Person 2,125 14.0% 444 2+ Person Family 7,066 46.4% 720 2+ Person Nonfamily 1,273 8.4% 391 HOUSEHOLD TYPE BY RELATIVES AND NONRELATIVES FOR POPULATION IN HOUSEHOLDS POPULATION IN HOUSEHOLDS Total 38,752 100.0% 2,495 In Family Households 31,450 81 2% 2,481 In Married-Couple Family 24,041 62 0% 2,465 Relatives 23,675 61 1% 2,438 Nonrelatives 366 0.9% 269 In Male Householder-No Spouse Present-Family 2,469 6.4% 826 Relatives 1,822 4 7% 595 Nonrelatives 647 1.7% 368 In Female Householder-No Spouse Present-Family 4,940 12 7% 1,439 Relatives 4,506 11.6% 1,297 Nonrelatives 434 1 1% 284 In Nonfamily Households 7,302 18 8% 1,094 Source: U.S. Census Bureau, 2017-2021 American Community Survey Reliability: high medium low July 17, 2023 ©2023 Esri Page 18 of 24
ACS Population Summary
1154 S Highway 97 Prepared by Esri 1154 S Highway 97, Redmond, Oregon, 97756 Latitude: 44.26582 Ring: 5 mile radius Longitude: -121.17419 2017-2021 ACS Estimate Percent MOE(±) Reliability POPULATION AGE 5+ YEARS BY LANGUAGE SPOKEN AT HOME AND ABILITY TO SPEAK ENGLISH Total 37,016 100.0% 2,389 5 to 17 years Speak only English 5,517 14 9% 950 Speak Spanish 957 2.6% 464 Speak English "very well" or "well" 845 2.3% 430 Speak English "not well" 112 0.3% 113 Speak English "not at all" 0 0 0% 0 Speak other Indo-European languages 2 0.0% 8 Speak English "very well" or "well" 2 0.0% 8 Speak English "not well" 0 0.0% 0 Speak English "not at all" 0 0 0% 0 Speak Asian and Pacific Island languages 19 0.1% 35 Speak English "very well" or "well" 0 0.0% 0 Speak English "not well" 19 0.1% 35 Speak English "not at all" 0 0 0% 0 Speak other languages 0 0.0% 0 Speak English "very well" or "well" 0 0.0% 0 Speak English "not well" 0 0.0% 0 Speak English "not at all" 0 0 0% 0 18 to 64 years Speak only English 21,166 57.2% 1,656 Speak Spanish 2,183 5.9% 637 Speak English "very well" or "well" 1,525 4 1% 529 Speak English "not well" 560 1.5% 336 Speak English "not at all" 98 0 3% 122 Speak other Indo-European languages 387 1.0% 230 Speak English "very well" or "well" 387 1 0% 229 Speak English "not well" 0 0.0% 0 Speak English "not at all" 0 0 0% 0 Speak Asian and Pacific Island languages 114 0.3% 87 Speak English "very well" or "well" 97 0.3% 76 Speak English "not well" 17 0.0% 27 Speak English "not at all" 0 0 0% 0 Speak other languages 0 0.0% 0 Speak English "very well" or "well" 0 0.0% 0 Speak English "not well" 0 0.0% 0 Speak English "not at all" 0 0 0% 0 65 years and over Speak only English 6,196 16 7% 701 Speak Spanish 208 0.6% 161 Speak English "very well" or "well" 120 0 3% 132 Speak English "not well" 36 0.1% 49 Speak English "not at all" 52 0 1% 78 Speak other Indo-European languages 190 0.5% 204 Speak English "very well" or "well" 190 0 5% 210 Speak English "not well" 0 0.0% 0 Speak English "not at all" 0 0 0% 0 Speak Asian and Pacific Island languages 77 0.2% 86 Speak English "very well" or "well" 53 0.1% 77 Speak English "not well" 24 0.1% 38 Speak English "not at all" 0 0 0% 0 Speak other languages 0 0.0% 0 Speak English "very well" or "well" 0 0.0% 0 Speak English "not well" 0 0.0% 0 Speak English "not at all" 0 0 0% 0 Source: U.S. Census Bureau, 2017-2021 American Community Survey Reliability: high medium low July 17, 2023 ©2023 Esri Page 19 of 24
ACS Population Summary
ACS Population Summary 1154 S Highway 97 Prepared by Esri 1154 S Highway 97, Redmond, Oregon, 97756 Latitude: 44.26582 Ring: 5 mile radius Longitude: -121.17419 2017-2021 ACS Estimate Percent MOE(±) Reliability WORKERS AGE 16+ YEARS BY PLACE OF WORK Total 18,826 100.0% 1,503 Worked in state and in county of residence 17,422 92.5% 1,485 Worked in state and outside county of residence 1,205 6 4% 372 Worked outside state of residence 199 1.1% 116 SEX BY CLASS OF WORKER FOR THE CIVILIAN EMPLOYED POPULATION 16 YEARS AND OVER Total: 19,233 100.0% 1,525 Male: 9,880 51 4% 917 Employee of private company workers 6,904 35 9% 854 Self-employed in own incorporated business workers 895 4.7% 306 Private not-for-profit wage and salary workers 364 1.9% 168 Local government workers 329 1.7% 143 State government workers 223 1 2% 123 Federal government workers 248 1.3% 146 Self-employed in own not incorporated business workers 914 4 8% 406 Unpaid family workers 3 0.0% 23 Female: 9,352 48 6% 934 Employee of private company workers 5,732 29 8% 830 Self-employed in own incorporated business workers 540 2 8% 191 Private not-for-profit wage and salary workers 1,293 6.7% 394 Local government workers 899 4.7% 325 State government workers 198 1.0% 123 Federal government workers 103 0 5% 86 Self-employed in own not incorporated business workers 564 2.9% 230 Unpaid family workers 23 0 1% 25 POPULATION IN HOUSEHOLDS AND PRESENCE OF A COMPUTER Total 38,752 100.0% 2,495 Population <18 in Households 8,455 21 8% 1,118 Have a Computer 8,341 21 5% 1,118 Have NO Computer 114 0.3% 149 Population 18-64 in Households 23,749 61 3% 1,752 Have a Computer 23,424 60 4% 1,761 Have NO Computer 324 0.8% 191 Population 65+ in Households 6,549 16 9% 731 Have a Computer 6,077 15.7% 662 Have NO Computer 472 1 2% 341 HOUSEHOLDS AND INTERNET SUBSCRIPTIONS Total 15,222 100.0% 880 With an Internet Subscription 13,975 91.8% 829 Dial-Up Alone 83 0 5% 82 Broadband 11,189 73 5% 830 Satellite Service 1,517 10 0% 369 Other Service 73 0 5% 59 Internet Access with no Subscription 189 1.2% 92 With No Internet Access 1,058 7 0% 407 Source: U.S. Census Bureau, 2017-2021 American Community Survey Reliability: high medium low July 17, 2023 ©2023 Esri Page 20 of 24
1154 S Highway 97 Prepared by Esri 1154 S Highway 97, Redmond, Oregon, 97756 Latitude: 44.26582 Ring: 5 mile radius Longitude: -121.17419 2017-2021 ACS Estimate Percent MOE(±) Reliability WORKERS AGE 16+ YEARS BY MEANS OF TRANSPORTATION TO WORK Total 18,826 100.0% 1,503 Drove alone 14,196 75 4% 1,371 Carpooled 1,772 9 4% 454 Public transportation (excluding taxicab) 134 0.7% 131 Bus or trolley bus 134 0 7% 131 Light rail, streetcar or trolley 0 0.0% 0 Subway or elevated 0 0.0% 0 Long-distance/Commuter Train 0 0.0% 0 Ferryboat 0 0.0% 0 Taxicab 57 0.3% 81 Motorcycle 96 0.5% 124 Bicycle 144 0.8% 167 Walked 306 1 6% 149 Other means 211 1.1% 232 Worked at home 1,910 10 1% 438
AGE 16+ YEARS (WHO DID NOT WORK FROM HOME) BY TRAVEL TIME TO WORK Total 16,916 100.0% 1,430 Less than 5 minutes 888 5.2% 311 5 to 9 minutes 2,719 16.1% 560 10 to 14 minutes 2,892 17 1% 626 15 to 19 minutes 1,553 9 2% 338 20 to 24 minutes 2,272 13 4% 594 25 to 29 minutes 2,197 13 0% 725 30 to 34 minutes 2,749 16.3% 506 35 to 39 minutes 398 2 4% 170 40 to 44 minutes 487 2.9% 185 45 to 59 minutes 373 2 2% 159 60 to 89 minutes 202 1.2% 136 90 or more minutes 188 1 1% 120 Average Travel Time to Work (in minutes) N/A N/A FEMALES AGE 20-64 YEARS BY AGE OF OWN CHILDREN AND EMPLOYMENT STATUS Total 11,993 100.0% 1,010 Own children under 6 years only 1,197 10.0% 418 In labor force 1,005 8 4% 392 Not in labor force 192 1.6% 153 Own children under 6 years and 6 to 17 years 681 5 7% 292 In labor force 430 3.6% 227 Not in labor force 251 2 1% 185 Own children 6 to 17 years only 2,324 19.4% 518 In labor force 1,918 16 0% 486 Not in labor force 406 3.4% 181 No own children under 18 years 7,791 65 0% 876 In labor force 6,004 50.1% 819 Not in labor force 1,787 14 9% 360 Source: U.S. Census Bureau, 2017-2021 American Community Survey Reliability: high medium low July 17, 2023 ©2023 Esri Page 21 of 24
ACS Population Summary
WORKERS
1154 S Highway 97 Prepared by Esri 1154 S Highway 97, Redmond, Oregon, 97756 Latitude: 44.26582 Ring: 5 mile radius Longitude: -121.17419 2017-2021 ACS Estimate Percent MOE(±) Reliability CIVILIAN NONINSTITUTIONALIZED POPULATION BY AGE & TYPES OHEALINSURANCE COVERAGE OF HEALTH INSURANCE COVERAGE Total 38,921 100.0% 2,501 Under 19 years: 9,040 23 2% 1,159 One Type of Health Insurance: 8,309 21 3% 1,118 Employer-Based Health Ins Only 2,820 7.2% 660 Direct-Purchase Health Ins Only 699 1 8% 430 Medicare Coverage Only 0 0.0% 0 Medicaid Coverage Only 4,593 11 8% 901 TRICARE/Military Hlth Cov Only 196 0.5% 231 VA Health Care Only 0 0.0% 0 2+ Types of Health Insurance 589 1.5% 292 No Health Insurance Coverage 143 0.4% 114 19 to 34 years: 7,637 19.6% 1,070 One Type of Health Insurance: 6,109 15.7% 860 Employer-Based Health Ins Only 4,028 10 3% 702 Direct-Purchase Health Ins Only 543 1 4% 325 Medicare Coverage Only 0 0.0% 0 Medicaid Coverage Only 1,429 3 7% 425 TRICARE/Military Hlth Cov Only 96 0.2% 89 VA Health Care Only 13 0 0% 19 2+ Types of Health Insurance 780 2.0% 362 No Health Insurance Coverage 748 1 9% 324 35 to 64 years: 15,607 40 1% 1,411 One Type of Health Insurance: 11,319 29 1% 1,207 Employer-Based Health Ins Only 7,389 19 0% 1,053 Direct-Purchase Health Ins Only 1,658 4 3% 495 Medicare Coverage Only 220 0.6% 125 Medicaid Coverage Only 1,849 4 8% 491 TRICARE/Military Hlth Cov Only 109 0.3% 81 VA Health Care Only 93 0 2% 74 2+ Types of Health Insurance 2,459 6.3% 589 No Health Insurance Coverage 1,829 4.7% 543 65+ years: 6,637 17.1% 735 One Type of Health Insurance: 2,385 6.1% 543 Employer-Based Health Ins Only 95 0.2% 69 Direct-Purchase Health Ins Only 0 0.0% 1 Medicare Coverage Only 2,289 5.9% 541 TRICARE/Military Hlth Cov Only 0 0 0% 0 VA Health Care Only 0 0.0% 0 2+ Types of Health Insurance: 4,246 10 9% 551 Employer-Based & Direct-Purchase Health Insurance 0 0.0% 0 Employer-Based Health & Medicare Insurance 659 1 7% 207 Direct-Purchase Health & Medicare Insurance 1,836 4.7% 438 Medicare & Medicaid Coverage 329 0 8% 165 Other Private Health Insurance Combos 0 0.0% 0 Other Public Health Insurance Combos 88 0.2% 61 Other Health Insurance Combinations 1,334 3.4% 288 No Health Insurance Coverage 7 0.0% 13 Source: U.S. Census Bureau, 2017-2021 American Community Survey Reliability: high medium low July 17, 2023 ©2023 Esri Page 22 of 24
ACS Population Summary

CIVILIAN POPULATION AGE 18 OR OLDER BY VETERAN STATUS

CIVILIAN VETERANS AGE 18 OR OLDER BY PERIOD OF MILITARY SERVICE

1154 S Highway 97 Prepared by Esri 1154 S Highway 97, Redmond, Oregon, 97756 Latitude: 44.26582 Ring: 5 mile radius Longitude: -121.17419 2017-2021 ACS Estimate Percent MOE(±) Reliability POPULATION BY RATIO OF
Total 38,680 100.0% 2,499 Under 50 1,501 3.9% 451 50 to 99 1,955 5 1% 688 1 00 to 1 24 1,541 4.0% 721 1 25 to 1 49 2,892 7 5% 1,167 1 50 to 1 84 2,545 6.6% 957 1 85 to 1 99 734 1 9% 536 2 00 and over 27,513 71 1% 2,284
ACS Population Summary
INCOME TO POVERTY LEVEL
Total 30,506 100.0% 1,797 Veteran 2,663 8.7% 473 Nonveteran 27,843 91.3% 1,692 Male 14,117 46 3% 996 Veteran 2,425 7 9% 430 Nonveteran 11,692 38 3% 949 Female 16,389 53.7% 1,130 Veteran 238 0.8% 188 Nonveteran 16,151 52 9% 1,116
Total 2,663 100.0% 473 Gulf War (9/01 or later), no Gulf War (8/90 to 8/01), no Vietnam Era 524 19 7% 303 Gulf War (9/01 or later) and Gulf War (8/90 to 8/01), no Vietnam Era 62 2.3% 45 Gulf War (9/01 or later), and Gulf War (8/90 to 8/01), and Vietnam Era 0 0.0% 0 Gulf War (8/90 to 8/01), no Vietnam Era 250 9.4% 137 Gulf War (8/90 to 8/01) and Vietnam Era 6 0.2% 19 Vietnam Era, no Korean War, no World War II 954 35 8% 234 Vietnam Era and Korean War, no World War II 3 0.1% 15 Vietnam Era and Korean War and World War II 0 0.0% 0 Korean War, no Vietnam Era, no World War II 102 3.8% 64 Korean War and World War II, no Vietnam Era 0 0 0% 0 World War II, no Korean War, no Vietnam Era 35 1.3% 60 Between Gulf War and Vietnam Era only 555 20 8% 243 Between Vietnam Era and Korean War only 173 6.5% 75 Between Korean War and World War II only 0 0.0% 0 Pre-World War II only 0 0.0% 0
Total 15,222 100.0% 880 Income in the past 12 months below poverty level 1,412 9.3% 351 Married-couple family 230 1 5% 134 Other family - male householder (no wife present) 137 0.9% 123 Other family - female householder (no husband present) 224 1 5% 114 Nonfamily household - male householder 279 1.8% 173 Nonfamily household - female householder 542 3.6% 218 Income in the past 12 months at or above poverty level 13,810 90 7% 880 Married-couple family 7,369 48 4% 718 Other family - male householder (no wife present) 572 3.8% 220 Other family - female householder (no husband present) 1,405 9.2% 461 Nonfamily household - male householder 1,598 10.5% 372 Nonfamily household - female householder 2,867 18 8% 571 Poverty Index 75 Source: U.S. Census Bureau, 2017-2021 American Community Survey Reliability: high medium low July 17, 2023 ©2023 Esri Page 23 of 24
HOUSEHOLDS BY POVERTY STATUS

Data Note: N/A means not available Population by Ratio of Income to Poverty Level represents persons for whom poverty status is determined. Household income represents income in 2021, adjusted for inflation

2017-2021 ACS Estimate: The American Community Survey (ACS) replaces census sample data. Esri is releasing the 2017-2021 ACS estimates, five-year period data collected monthly from January 1, 2017 through December 31, 2021. Although the ACS includes many of the subjects previously covered by the decennial census sample, there are significant differences between the two surveys including fundamental differences in survey design and residency rules

Margin of error (MOE): The MOE is a measure of the variability of the estimate due to sampling error. MOEs enable the data user to measure the range of uncertainty for each estimate with 90 percent confidence. The range of uncertainty is called the confidence interval, and it is calculated by taking the estimate +/- the MOE. For example, if the ACS reports an estimate of 100 with an MOE of +/- 20, then you can be 90 percent certain the value for the whole population falls between 80 and 120.

Reliability: These symbols represent threshold values that Esri has established from the Coefficients of Variation (CV) to designate the usability of the estimates. The CV measures the amount of sampling error relative to the size of the estimate, expressed as a percentage

High Reliability: Small CVs (less than or equal to 12 percent) are flagged green to indicate that the sampling error is small relative to the estimate and the estimate is reasonably reliable.

Medium Reliability: Estimates with CVs between 12 and 40 are flagged yellow-use with caution.

Low Reliability: Large CVs (over 40 percent) are flagged red to indicate that the sampling error is large relative to the estimate. The estimate is considered very unreliable.

Source: U.S. Census Bureau, 2017-2021 American Community Survey

Reliability: high medium low July 17, 2023

1154 S Highway 97 Prepared by Esri 1154 S Highway 97, Redmond, Oregon, 97756 Latitude: 44.26582 Ring: 5 mile radius Longitude: -121.17419 2017-2021 ACS Estimate Percent MOE(±) Reliability HOUSEHOLDS BY OTHER INCOME Social Security Income 5,461 35 9% 621 No Social Security Income 9,762 64.1% 809 Retirement Income 3,328 21 9% 424 No Retirement Income 11,894 78 1% 892 GROSS RENT AS A PERCENTAGE OF HOUSEHOLD INCOME IN THE PAST 12 MONTHS <10% of Income 151 3 2% 127 10-14 9% of Income 429 9.0% 226 15-19 9% of Income 624 13 1% 247 20-24 9% of Income 480 10 1% 214 25-29.9% of Income 517 10.8% 224 30-34 9% of Income 324 6.8% 154 35-39 9% of Income 443 9 3% 278 40-49 9% of Income 509 10 7% 253 50+% of Income 1,179 24 7% 418 Gross Rent % Inc Not Computed 115 2.4% 77 HOUSEHOLDS BY PUBLIC ASSISTANCE INCOME IN THE PAST 12 MONTHS Total 15,222 100.0% 880 With public assistance income 469 3.1% 181 No public assistance income 14,753 96.9% 880 HOUSEHOLDS BY FOOD STAMPS/SNAP STATUS Total 15,222 100.0% 880 With Food Stamps/SNAP 2,233 14.7% 400 With No Food Stamps/SNAP 12,990 85.3% 884 HOUSEHOLDS BY DISABILITY STATUS Total 15,222 100.0% 880 With 1+ Persons w/Disability 4,472 29.4% 646 With No Person w/Disability 10,750 70.6% 870
ACS Population Summary
©2023 Esri Page 24 of 24

Market Profile

Data Note: Household population includes persons not residing in group quarters. Average Household Size is the household population divided by total households. Persons in families include the householder and persons related to the householder by birth, marriage, or adoption. Per Capita Income represents the income received by all persons aged 15 years and over divided by the total population

Esri forecasts for 2023 and 2028 U.S. Census Bureau 2000 and 2010 decennial Census data converted by Esri into 2020 geography.

1154 S Highway 97 Prepared by Esri 1154 S Highway 97, Redmond, Oregon, 97756 Latitude: 44.26582 Rings: 1, 3, 5 mile radii Longitude: -121.17419 1 mile 3 miles 5 miles Population Summary 2010 Total Population 4,660 26,948 31,225 2020 Total Population 5,036 33,790 39,243 2020 Group Quarters 21 150 163 2023 Total Population 5,378 37,029 42,771 2023 Group Quarters 21 150 163 2028 Total Population 5,835 38,735 44,784 2023-2028 Annual Rate 1.64% 0.90% 0.92% 2023 Total Daytime Population 10,278 35,478 39,655 Workers 7,511 15,990 17,131 Residents 2,767 19,488 22,524 Household Summary 2010 Households 1,986 10,257 12,020 2010 Average Household Size 2.30 2.60 2.57 2020 Total Households 2,123 12,873 15,123 2020 Average Household Size 2.36 2.61 2.58 2023 Households 2,291 14,091 16,548 2023 Average Household Size 2.34 2.62 2.57 2028 Households 2,500 14,847 17,454 2028 Average Household Size 2.33 2.60 2.56 2023-2028 Annual Rate 1.76% 1.05% 1.07% 2010 Families 1,189 7,000 8,348 2010 Average Family Size 2.87 3.06 3.00 2023 Families 1,307 9,345 11,164 2023 Average Family Size 2.99 3.13 3.05 2028 Families 1,421 9,792 11,716 2028 Average Family Size 2.97 3.11 3.03 2023-2028 Annual Rate 1.69% 0.94% 0.97% Housing Unit Summary 2000 Housing Units 1,823 6,837 8,236 Owner Occupied Housing Units 46.2% 61.7% 64.6% Renter Occupied Housing Units 47.5% 32.9% 29.1% Vacant Housing Units 6.3% 5.4% 6.2% 2010 Housing Units 2,235 11,282 13,641 Owner Occupied Housing Units 36.0% 51.7% 53.3% Renter Occupied Housing Units 52.9% 39.2% 34.9% Vacant Housing Units 11.1% 9.1% 11.9% 2020 Housing Units 2,285 13,452 16,206 Vacant Housing Units 7.1% 4.3% 6.7% 2023 Housing Units 2,526 14,755 17,695 Owner Occupied Housing Units 40.5% 63.1% 64.2% Renter Occupied Housing Units 50.2% 32.4% 29.3% Vacant Housing Units 9.3% 4.5% 6.5% 2028 Housing Units 2,721 15,427 18,514 Owner Occupied Housing Units 41.5% 64.1% 65.3% Renter Occupied Housing Units 50.4% 32.1% 29.0% Vacant Housing Units 8.1% 3.8% 5.7% Median Household Income 2023 $60,699 $74,200 $75,952 2028 $68,617 $82,121 $84,575 Median Home Value 2023 $408,712 $461,415 $483,094 2028 $487,155 $531,947 $557,123 Per Capita Income 2023 $31,808 $33,095 $35,022 2028 $37,254 $38,578 $40,994 Median Age 2010 34.9 34.6 36.4 2023 35.6 36.8 38.4 2028 35.4 36.8 38.6
Source:
July
©2023 Esri Page 1 of 7
17, 2023

Market Profile

Data Note: Income represents the preceding year, expressed in current dollars. Household income includes wage and salary earnings, interest dividends, net rents, pensions, SSI and welfare payments, child support, and alimony.

Source: Esri forecasts for 2023 and 2028 U.S. Census Bureau 2000 and 2010 decennial Census data converted by Esri into 2020 geography.

1154 S Highway 97 Prepared by Esri 1154 S Highway 97, Redmond, Oregon, 97756 Latitude: 44.26582 Rings: 1, 3, 5 mile radii Longitude: -121.17419 1 mile 3 miles 5 miles 2023 Households by Income Household Income Base 2,291 14,091 16,548 <$15,000 9.0% 7.0% 6.9% $15,000 - $24,999 6.0% 5.6% 5.6% $25,000 - $34,999 8.8% 5.3% 5.2% $35,000 - $49,999 12.4% 14.1% 13.5% $50,000 - $74,999 25.5% 18.4% 17.9% $75,000 - $99,999 16.2% 19.2% 18.5% $100,000 - $149,999 12.0% 21.5% 21.9% $150,000 - $199,999 8.1% 5.9% 6.7% $200,000+ 1.9% 3.0% 3.9% Average Household Income $77,564 $86,543 $90,841 2028 Households by Income Household Income Base 2,500 14,847 17,454 <$15,000 7.8% 6.1% 5.9% $15,000 - $24,999 4.7% 4.0% 4.0% $25,000 - $34,999 7.0% 4.1% 3.9% $35,000 - $49,999 11.1% 11.9% 11.2% $50,000 - $74,999 23.9% 16.8% 16.2% $75,000 - $99,999 17.6% 19.6% 18.8% $100,000 - $149,999 14.0% 25.0% 25.2% $150,000 - $199,999 11.4% 8.4% 9.5% $200,000+ 2.6% 4.1% 5.2% Average Household Income $90,125 $100,155 $105,565 2023 Owner Occupied Housing Units by Value Total 1,023 9,308 11,363 <$50,000 6.8% 2.8% 2.4% $50,000 - $99,999 0.8% 3.5% 2.9% $100,000 - $149,999 1.5% 1.4% 1.2% $150,000 - $199,999 6.9% 3.5% 2.9% $200,000 - $249,999 8.0% 3.2% 2.7% $250,000 - $299,999 10.4% 5.3% 4.5% $300,000 - $399,999 13.4% 13.9% 12.1% $400,000 - $499,999 25.8% 26.9% 25.7% $500,000 - $749,999 11.4% 35.0% 37.1% $750,000 - $999,999 13.6% 3.8% 6.0% $1,000,000 - $1,499,999 0.8% 0.5% 1.9% $1,500,000 - $1,999,999 0.6% 0.4% 0.5% $2,000,000 + 0.1% 0.0% 0.2% Average Home Value $437,988 $467,288 $506,366 2028 Owner Occupied Housing Units by Value Total 1,128 9,893 12,090 <$50,000 0.2% 0.2% 0.2% $50,000 - $99,999 0.0% 0.8% 0.7% $100,000 - $149,999 0.0% 0.0% 0.0% $150,000 - $199,999 0.0% 0.1% 0.1% $200,000 - $249,999 0.0% 0.3% 0.2% $250,000 - $299,999 0.0% 0.3% 0.2% $300,000 - $399,999 5.0% 11.4% 9.4% $400,000 - $499,999 51.4% 30.8% 28.1% $500,000 - $749,999 16.8% 48.1% 48.7% $750,000 - $999,999 23.0% 5.8% 7.7% $1,000,000 - $1,499,999 1.5% 1.0% 3.2% $1,500,000 - $1,999,999 2.0% 1.3% 1.3% $2,000,000 + 0.1% 0.1% 0.2% Average Home Value $610,714 $567,727 $600,629
2023 ©2023 Esri Page 2 of 7
July 17,

Market Profile

1154 S Highway 97 Prepared by Esri 1154 S Highway 97, Redmond, Oregon, 97756 Latitude: 44.26582 Rings: 1, 3, 5 mile radii Longitude: -121.17419 1 mile 3 miles 5 miles 2010 Population by Age Total 4,659 26,951 31,224 0 - 4 7.5% 7.9% 7.4% 5 - 9 6.8% 7.7% 7.3% 10 - 14 6.3% 7.5% 7.3% 15 - 24 14.6% 12.9% 12.4% 25 - 34 15.0% 14.6% 13.7% 35 - 44 13.3% 13.8% 13.4% 45 - 54 13.2% 12.3% 12.8% 55 - 64 10.6% 10.4% 11.5% 65 - 74 5.8% 6.8% 7.7% 75 - 84 4.1% 4.2% 4.4% 85 + 2.9% 2.1% 2.0% 18 + 75.2% 72.6% 73.6% 2023 Population by Age Total 5,380 37,030 42,771 0 - 4 6.8% 6.9% 6.5% 5 - 9 6.5% 7.0% 6.7% 10 - 14 6.0% 6.8% 6.7% 15 - 24 13.4% 12.7% 12.2% 25 - 34 16.5% 14.1% 13.3% 35 - 44 12.9% 13.7% 13.3% 45 - 54 10.9% 11.7% 11.8% 55 - 64 11.0% 10.8% 11.7% 65 - 74 9.2% 9.4% 10.6% 75 - 84 4.7% 5.1% 5.4% 85 + 2.0% 1.9% 1.8% 18 + 77.0% 75.2% 76.2% 2028 Population by Age Total 5,834 38,735 44,784 0 - 4 7.1% 7.0% 6.6% 5 - 9 6.4% 7.0% 6.6% 10 - 14 6.1% 7.2% 6.9% 15 - 24 13.5% 12.2% 11.7% 25 - 34 16.4% 14.1% 13.3% 35 - 44 13.0% 13.8% 13.4% 45 - 54 11.1% 11.6% 11.7% 55 - 64 10.0% 10.1% 11.0% 65 - 74 9.2% 9.1% 10.5% 75 - 84 5.3% 5.8% 6.2% 85 + 2.0% 2.0% 2.1% 18 + 77.1% 74.9% 76.0% 2010 Population by Sex Males 2,243 13,060 15,197 Females 2,417 13,889 16,028 2023 Population by Sex Males 2,609 18,067 20,957 Females 2,769 18,962 21,814 2028 Population by Sex Males 2,815 18,836 21,884 Females 3,020 19,898 22,900 Source: Esri forecasts for 2023 and 2028 U.S. Census Bureau 2000 and 2010 decennial Census data converted by Esri into 2020 geography. July 17, 2023 ©2023 Esri Page 3 of 7

Market Profile

Data Note: Persons of Hispanic Origin may be of any race The Diversity Index measures the probability that two people from the same area will be from different race/ ethnic groups

data converted by Esri into 2020

1154 S Highway 97 Prepared by Esri 1154 S Highway 97, Redmond, Oregon, 97756 Latitude: 44.26582 Rings: 1, 3, 5 mile radii Longitude: -121.17419 1 mile 3 miles 5 miles 2010 Population by Race/Ethnicity Total 4,661 26,949 31,226 White Alone 88.8% 89.3% 90.0% Black Alone 0.3% 0.4% 0.4% American Indian Alone 1.8% 1.3% 1.2% Asian Alone 0.8% 0.7% 0.7% Pacific Islander Alone 0.2% 0.2% 0.2% Some Other Race Alone 5.3% 5.2% 4.7% Two or More Races 2.9% 3.0% 2.8% Hispanic Origin 12.3% 12.0% 11.1% Diversity Index 37.9 36.8 34.6 2020 Population by Race/Ethnicity Total 5,036 33,790 39,243 White Alone 80.6% 81.5% 82.4% Black Alone 0.6% 0.6% 0.5% American Indian Alone 1.3% 1.2% 1.1% Asian Alone 1.2% 1.2% 1.1% Pacific Islander Alone 0.3% 0.2% 0.2% Some Other Race Alone 5.7% 5.6% 5.2% Two or More Races 10.3% 9.9% 9.5% Hispanic Origin 13.3% 13.7% 12.8% Diversity Index 48.9 48.3 46.2 2023 Population by Race/Ethnicity Total 5,378 37,028 42,771 White Alone 79.8% 80.6% 81.6% Black Alone 0.6% 0.5% 0.5% American Indian Alone 1.3% 1.2% 1.1% Asian Alone 1.2% 1.2% 1.2% Pacific Islander Alone 0.3% 0.2% 0.2% Some Other Race Alone 6.0% 6.0% 5.5% Two or More Races 10.7% 10.4% 10.0% Hispanic Origin 14.0% 14.5% 13.6% Diversity Index 50.5 50.1 48.1 2028 Population by Race/Ethnicity Total 5,835 38,734 44,785 White Alone 78.6% 79.3% 80.3% Black Alone 0.5% 0.5% 0.5% American Indian Alone 1.3% 1.2% 1.2% Asian Alone 1.3% 1.3% 1.2% Pacific Islander Alone 0.3% 0.2% 0.2% Some Other Race Alone 6.5% 6.5% 6.0% Two or More Races 11.4% 11.1% 10.6% Hispanic Origin 15.0% 15.5% 14.6% Diversity Index 52.6 52.4 50.4 2010 Population by Relationship and Household Type Total 4,660 26,948 31,226 In Households 98.2% 98.9% 99.0% In Family Households 77.1% 83.0% 83.7% Householder 24.6% 26.0% 26.7% Spouse 15.7% 18.8% 19.8% Child 29.9% 31.6% 30.7% Other relative 3.0% 3.1% 3.1% Nonrelative 3.9% 3.5% 3.4% In Nonfamily Households 21.1% 15.8% 15.3% In Group Quarters 1.8% 1.1% 1.0% Institutionalized Population 1.2% 0.6% 0.6% Noninstitutionalized Population 0.6% 0.5% 0.4%
Source: Esri forecasts for 2023 and 2028 U.S. Census Bureau 2000
2010 decennial Census
July 17, 2023 ©2023 Esri Page 4 of 7
and
geography.

Market Profile

1154 S Highway 97 Prepared by Esri 1154 S Highway 97, Redmond, Oregon, 97756 Latitude: 44.26582 Rings: 1, 3, 5 mile radii Longitude: -121.17419 1 mile 3 miles 5 miles 2023 Population 25+ by Educational Attainment Total 3,620 24,665 29,075 Less than 9th Grade 6.7% 3.3% 3.0% 9th - 12th Grade, No Diploma 4.7% 5.8% 5.3% High School Graduate 12.6% 23.2% 23.0% GED/Alternative Credential 6.9% 3.9% 3.6% Some College, No Degree 26.5% 25.3% 25.6% Associate Degree 17.7% 12.8% 11.8% Bachelor's Degree 17.2% 18.8% 19.9% Graduate/Professional Degree 7.6% 7.0% 7.9% 2023 Population 15+ by Marital Status Total 4,339 29,355 34,287 Never Married 35.7% 27.6% 26.6% Married 42.3% 50.8% 52.3% Widowed 5.6% 6.0% 5.9% Divorced 16.4% 15.5% 15.3% 2023 Civilian Population 16+ in Labor Force Civilian Population 16+ 2,869 18,983 21,781 Population 16+ Employed 92.2% 94.0% 94.4% Population 16+ Unemployment rate 7.8% 6.0% 5.6% Population 16-24 Employed 13.6% 12.9% 12.5% Population 16-24 Unemployment rate 25.2% 21.6% 20.1% Population 25-54 Employed 66.1% 69.1% 67.4% Population 25-54 Unemployment rate 5.1% 2.7% 2.5% Population 55-64 Employed 15.2% 13.4% 14.6% Population 55-64 Unemployment rate 1.7% 6.4% 6.1% Population 65+ Employed 5.2% 4.6% 5.4% Population 65+ Unemployment rate 1.4% 0.7% 0.5% 2023 Employed Population 16+ by Industry Total 2,645 17,841 20,570 Agriculture/Mining 1.1% 1.1% 1.5% Construction 6.4% 13.5% 12.9% Manufacturing 5.1% 5.5% 5.5% Wholesale Trade 0.1% 1.4% 1.8% Retail Trade 15.5% 15.2% 14.6% Transportation/Utilities 6.8% 6.4% 6.0% Information 0.7% 1.0% 1.0% Finance/Insurance/Real Estate 3.7% 3.1% 3.3% Services 55.6% 50.2% 50.5% Public Administration 4.9% 2.8% 2.9% 2023 Employed Population 16+ by Occupation Total 2,646 17,841 20,567 White Collar 56.1% 57.0% 57.7% Management/Business/Financial 11.9% 15.2% 15.5% Professional 23.9% 19.3% 19.6% Sales 7.8% 9.5% 10.1% Administrative Support 12.5% 13.0% 12.5% Services 25.1% 18.6% 18.4% Blue Collar 18.8% 24.3% 24.0% Farming/Forestry/Fishing 0.4% 0.2% 0.2% Construction/Extraction 5.1% 8.0% 7.6% Installation/Maintenance/Repair 1.7% 2.8% 3.0% Production 4.3% 3.9% 3.7% Transportation/Material Moving 7.3% 9.4% 9.4% Source: Esri forecasts for 2023 and 2028 U.S. Census Bureau 2000 and 2010 decennial Census data converted by Esri into 2020 geography. July 17, 2023 ©2023 Esri Page 5 of 7

Market Profile

Data Note: Households with children include any households with people under age 18, related or not. Multigenerational households are families with 3 or more parentchild relationships. Unmarried partner households are usually classified as nonfamily households unless there is another member of the household related to the householder. Multigenerational and unmarried partner households are reported only to the tract level. Esri estimated block group data, which is used to estimate polygons or non-standard geography.

Esri forecasts for 2023 and 2028 U.S. Census Bureau 2000 and 2010 decennial Census data converted by Esri into 2020 geography.

17, 2023

1154 S Highway 97 Prepared by Esri 1154 S Highway 97, Redmond, Oregon, 97756 Latitude: 44.26582 Rings: 1, 3, 5 mile radii Longitude: -121.17419 1 mile 3 miles 5 miles 2010 Households by Type Total 1,986 10,257 12,020 Households with 1 Person 30.6% 24.1% 23.2% Households with 2+ People 69.4% 75.9% 76.8% Family Households 59.9% 68.2% 69.5% Husband-wife Families 38.1% 49.2% 51.6% With Related Children 17.0% 22.9% 22.3% Other Family (No Spouse Present) 21.8% 19.1% 17.8% Other Family with Male Householder 5.8% 5.5% 5.3% With Related Children 4.0% 4.0% 3.8% Other Family with Female Householder 15.9% 13.6% 12.5% With Related Children 12.0% 10.2% 9.3% Nonfamily Households 9.6% 7.7% 7.3% All Households with Children 33.8% 37.9% 36.2% Multigenerational Households 3.4% 3.4% 3.4% Unmarried Partner Households 9.9% 9.0% 8.6% Male-female 9.3% 8.4% 8.0% Same-sex 0.6% 0.6% 0.6% 2010 Households by Size Total 1,985 10,257 12,020 1 Person Household 30.6% 24.1% 23.2% 2 Person Household 33.9% 34.5% 36.6% 3 Person Household 15.9% 16.7% 16.3% 4 Person Household 10.4% 13.6% 13.2% 5 Person Household 6.0% 7.0% 6.8% 6 Person Household 2.1% 2.7% 2.6% 7 + Person Household 1.2% 1.3% 1.2% 2010 Households by Tenure and Mortgage Status Total 1,986 10,258 12,020 Owner Occupied 40.5% 56.8% 60.4% Owned with a Mortgage/Loan 31.4% 44.2% 46.4% Owned Free and Clear 9.1% 12.7% 14.1% Renter Occupied 59.5% 43.2% 39.6% 2023 Affordability, Mortgage and Wealth Housing Affordability Index 61 66 65 Percent of Income for Mortgage 40.5% 37.4% 38.2% Wealth Index 48 62 72 2010 Housing Units By Urban/ Rural Status Total Housing Units 2,235 11,282 13,641 Housing Units Inside Urbanized Area 0.0% 0.0% 0.0% Housing Units Inside Urbanized Cluster 100.0% 93.8% 80.9% Rural Housing Units 0.0% 6.2% 19.1% 2010 Population By Urban/ Rural Status Total Population 4,660 26,948 31,225 Population Inside Urbanized Area 0.0% 0.0% 0.0% Population Inside Urbanized Cluster 100.0% 94.1% 84.5% Rural Population 0.0% 5.9% 15.5%
Source:
©2023 Esri Page 6 of 7
July

Market Profile

Data Note: Consumer spending shows the amount spent on a variety of goods and services by households that reside in the area Expenditures are shown by broad budget categories that are not mutually exclusive. Consumer spending does not equal business revenue. Total and Average Amount Spent Per Household represent annual figures The Spending Potential Index represents the amount spent in the area relative to a national average of 100

Source: Consumer Spending data are derived from the 2019 and 2020 Consumer Expenditure Surveys, Bureau of Labor Statistics. Esri.

Source: Esri forecasts for 2023 and 2028 U.S. Census Bureau 2000 and 2010 decennial Census data converted by Esri into 2020 geography.

July 17, 2023

1154 S Highway 97 Prepared by Esri 1154 S Highway 97, Redmond, Oregon, 97756 Latitude: 44.26582 Rings: 1, 3, 5 mile radii Longitude: -121.17419 1 mile 3 miles 5 miles Top 3 Tapestry Segments 1. Front Porches (8E) Middleburg (4C) Middleburg (4C) 2. Bright Young Professionals (8C) Urban Edge Families (7C) Urban Edge Families (7C) 3. Set to Impress (11D) Front Porches (8E) Front Porches (8E) 2023 Consumer Spending Apparel & Services: Total $ $3,822,448 $25,176,407 $30,612,013 Average Spent $1,668.46 $1,786.70 $1,849.89 Spending Potential Index 76 81 84 Education: Total $ $2,927,450 $19,105,488 $23,462,804 Average Spent $1,277.80 $1,355.86 $1,417.86 Spending Potential Index 71 76 79 Entertainment/Recreation: Total $ $6,260,166 $43,133,622 $53,334,683 Average Spent $2,732.50 $3,061.08 $3,223.03 Spending Potential Index 72 81 85 Food at Home: Total $ $11,681,931 $77,699,406 $95,558,896 Average Spent $5,099.05 $5,514.12 $5,774.65 Spending Potential Index 75 81 85 Food Away from Home: Total $ $6,434,718 $42,994,589 $52,541,721 Average Spent $2,808.69 $3,051.21 $3,175.11 Spending Potential Index 75 82 85 Health Care: Total $ $12,150,673 $85,280,448 $105,817,348 Average Spent $5,303.65 $6,052.12 $6,394.57 Spending Potential Index 72 82 87 HH Furnishings & Equipment: Total $ $4,940,443 $33,973,811 $41,837,344 Average Spent $2,156.46 $2,411.03 $2,528.24 Spending Potential Index 73 82 86 Personal Care Products & Services: Total $ $1,653,444 $11,019,095 $13,523,476 Average Spent $721.71 $782.00 $817.23 Spending Potential Index 75 82 85 Shelter: Total $ $42,335,149 $282,623,472 $347,970,960 Average Spent $18,478.90 $20,057.02 $21,027.98 Spending Potential Index 75 81 85 Support Payments/Cash Contributions/Gifts in Kind: Total $ $5,028,966 $36,074,203 $45,072,672 Average Spent $2,195.10 $2,560.09 $2,723.75 Spending Potential Index 70 82 87 Travel: Total $ $3,683,986 $25,782,915 $31,854,716 Average Spent $1,608.03 $1,829.74 $1,924.99 Spending Potential Index 71 81 86 Vehicle Maintenance & Repairs: Total $ $2,293,175 $15,398,401 $18,957,424 Average Spent $1,000.95 $1,092.78 $1,145.60 Spending Potential Index 76 83 87
©2023 Esri Page 7 of 7
Bureau of Land Management, State of Oregon GEO, State of Oregon, Esri, HERE, Garmin, INCREMENT P, NGA, USGS, U.S. Forest Service 0 0.8 1.6 mi Traffic Count Map 1154 S Highway 97 Prepared by Esri 1154 S Highway 97, Redmond, Oregon, 97756 Latitude: 44.26582 Rings: 1, 3, 5 mile radii Longitude: -121.17419 Source: ©2023 Kalibrate Technologies (Q2 2023). July 17, 2023 ©2023 Esri Page 1 of 1

CHAPTER 8 DEVELOPMENT REGULATIONS

1
INTRODUCTORY
SECTION Title....................................................................................................................................8.0001 Purpose .............................................................................................................................8.0010 Definitions..........................................................................................................................8.0020 Compliance with Zoning Provisions....................................................................................8.0025 Consistency with Plans and Laws......................................................................................8.0026 Authority and Land Use or Zoning Approval.......................................................................8.0030 Abrogation and Greater Restrictions..................................................................................8.0035 Interpretation......................................................................................................................8.0040 Repeal of Standards as Affecting Existing Liabilities..........................................................8.0045 Existing Agreement and Zoning Permits ............................................................................8.0050 Site Plan Review................................................................................................................8.0055 Authorization of Similar Uses and/or Waivers ....................................................................8.0060 Establishment of Zones & Districts.....................................................................................8.0065 Location of Zones 8.0070 Zoning Maps......................................................................................................................8.0075 Zone Boundaries 8.0080 Zoning of Annexed Areas 8.0085 RESIDENTIAL USE ZONES Limited Residential R-1 Zone 8.0100 Limited Residential R-2 Zone 8.0105 Limited Residential R-3 Zone 8.0110 Limited Residential R-3A Zone 8.0111 General Residential R-4 Zone 8.0115 High Density Residential R-5 Zone 8.0120 Higher Density Residential Zone 8.0121 Urban Holding UH-10 Zone 8.0130 Table A, Residential Zones, Uses Permitted 8.0135 Table for R-3A Zones, Uses Permitted 8.0137 Standards 8.0138 Table B, Minimum Standards 8.0140 Single Family Detached Dwellings and Plexes Development and Design Standards 8.0141 Townhouse Development and Design Standards...............................................................8.0142 Cottage Cluster Development and Design Standards 8.0143 COMMERCIAL USE AND INDUSTRIAL USE ZONES Strip Service Commercial C-1 Zone...................................................................................8.0150 Central Business District Commercial (CBD) C-2 Zone......................................................8.0155 Special Service Commercial C-3 Zone...............................................................................8.0160 Limited Service Commercial C-4 Zone...............................................................................8.0165 Limited Service Commercial C-4A Zone: Except as provided in 8.0190 and 8.0195, the standards and criteria for development in the C-4A Zone shall apply to development in the C-4A Zone..........................................................8.0166
ARTICLE I - ZONING STANDARDS
PROVISIONS
2 COMMERCIAL USE AND INDUSTRIAL USE ZONES (Continued) SECTION Tourist Commercial C-5 Zone............................................................................................8.0170 Downtown Overlay District.................................................................................................8.0175 Light Industrial (M-1) Zone.................................................................................................8.0180 General Industrial (M-1.5) Zone.........................................................................................8.0182 Heavy Industrial (M-2) Zone...............................................................................................8.0185 Large Lot Industrial (LLI) Zone...........................................................................................8.0186 Table C, Uses Permitted....................................................................................................8.0190 Table D, Minimum Standards.............................................................................................8.0195 OTHER ZONES Fairgrounds (FG) Zone ......................................................................................................8.0200 Park Reserve Open Space (OSPR Zone)........................................................................8.0205 Public Facility (PF) Zone....................................................................................................8.0210 Park Zone..........................................................................................................................8.0215 Table E, Permitted Uses 8.0220 Table F, Minimum Standards.............................................................................................8.0225 Airport Compatibility Zone 8.0235 MIXED-USE ZONES Mixed Use Neighborhood MUN Zone 8.0250 Mixed Use Employment MUE Zone 8.0255 Mixed Use Live/Work Zone (MULW) 8.0256 Table G, Uses Permitted 8.0260 MULW Special District Overlay 8.0261 Table H, Minimum Standards 8.0265 MASTER DEVELOPMENT PLANS & PLANNED UNIT DEVELOPMENTS Master Development Plans 8.0270 Planned Unit Development (PUD) 8.0275 Cottage Developments 8.0285 SUPPLEMENTARY PROVISIONS Establishment of Clear Vision Areas 8.0305 Exception to Clear Vision Area...........................................................................................8.0310 Construction or Alteration of Gas or Card-lock Stations 8.0315 Gas, Card-Lock or Fuel Container Abandonment...............................................................8.0320 Canopy Standards.............................................................................................................8.0321 Stacking Room...................................................................................................................8.0322 Minimum Standards for the Construction or Alteration of a Detached Accessory Structure (non-dwelling) ........................................................................8.0323 Accessory Dwelling Units and Guest Houses.....................................................................8.0325 Exterior Lighting.................................................................................................................8.0330 Development Standards Along the Perimeter of the Canyon..............................................8.0335 Fences...............................................................................................................................8.0340 Home Occupation..............................................................................................................8.0345
CHAPTER 8 DEVELOPMENT REGULATIONS

CHAPTER 8 DEVELOPMENT REGULATIONS

3 SUPPLEMENTARY PROVISIONS (Continued) SECTION Design Standards for all Residential Structures and Sites Fronting both Public or Private Streets or Alleys.....................................................8.0350 Placement of a Temporary Residence ...............................................................................8.0360 Placement of Temporary Residences for Medical Hardship...............................................8.0362 Beekeeping........................................................................................................................8.0364 Keeping of Livestock..........................................................................................................8.0365 Trans America Bike Route .................................................................................................8.0366 OSPR / “R” Zone Density Transfer Provisions....................................................................8.0367 Manufactured Home Park Standards.................................................................................8.0375 Temporary Use Permit (TUP).............................................................................................8.0380 Neighborhood Meeting Requirements................................................................................8.0385 WIRELESS AND BROADCAST COMMUNICATIONS FACILITIES Title....................................................................................................................................8.0400 Purpose and Applicability 8.0405 Definitions..........................................................................................................................8.0410 Wireless and Broadcast Communication Facilities 8.0415 Application Requirements 8.0420 Collocation 8.0425 General Development Standards 8.0430 Review Process and Approval Criteria 8.0435 Exemptions 8.0440 Maintenance 8.0445 Abandoned Facilities 8.0450 OFF-STREET PARKING & LOADING REQUIREMENTS Off Street Parking 8.0500 Off Street Parking and Loading 8.0505 Design and Improvement Standards for Parking Lots 8.0510 Parking Table and Diagram 8.0515

CHAPTER 8 DEVELOPMENT REGULATIONS

4 EXCEPTIONS SECTION Exception to Lot Size Requirements ..................................................................................8.0550 Exception to Yard Requirements........................................................................................8.0555 Exception to Building Setback Requirements.....................................................................8.0557 Exception to Building Height Limitations.............................................................................8.0565 Divided Legal Lots and Parcels..........................................................................................8.0570 Special Exceptions to Lot Size Requirements....................................................................8.0575 CONDITIONAL USES Authorization to Grant or Deny Conditional Uses...............................................................8.0600 Neighborhood Meeting.......................................................................................................8.0602 General Conditions............................................................................................................8.0605 Permit and Improvements Assurance ................................................................................8.0610 Standards Governing Conditional Uses .............................................................................8.0615 Conflicts 8.0616 Public Hearing on a Conditional Use..................................................................................8.0625 Termination of Use 8.0630 Time Limit on a Permit for a Conditional Use 8.0635 Occupancy Permit 8.0640 Performance Bond 8.0645 NON-CONFORMING USES Non-Conforming Uses Continuation of a Non-Conforming Use or Structure 8.0660 Discontinuance of a Non-Conforming Use 8.0665 Change of a Non-Conforming Use 8.0670 Destruction of a Non-Conforming Use 8.0680 Alterations and Repairs 8.0685 Non-Conforming Lots of Record 8.0695 VARIANCES Authorization to Grant or Deny Variances 8.0700 Standards Required to Grant Major Variances 8.0705 Standards Required to Grant Minor Variances to On Site Requirements ...........................8.0710 Application for a Variance 8.0720 AMENDMENTS Authorization to Initiate Amendments.................................................................................8.0750 Criteria for Amendments....................................................................................................8.0760 Tentative Approval.............................................................................................................8.0765 Public Hearing on Amendments.........................................................................................8.0770

CHAPTER 8 DEVELOPMENT REGULATIONS

5 GENERAL PROVISIONS SECTION Severability........................................................................................................................8.0800 Enforcement ......................................................................................................................8.0805 Corrections ........................................................................................................................8.0810 PRESERVATION OF HISTORIC RESOURCES Purpose .............................................................................................................................8.0820 Administration....................................................................................................................8.0825 Applicability........................................................................................................................8.0830 Definitions..........................................................................................................................8.0835 Severability........................................................................................................................8.0840 Conflicts with Other Laws...................................................................................................8.0845 Identification and Evaluation of Historic Resources............................................................8.0850 Local Landmark Register ...................................................................................................8.0855 Designation of a Building, Structure, Object or Site of Historic Interest 8.0860 Alterations, Demolitions, and Relocations of Historic Resources listed in the Local Landmark Register 8.0865 Removal of Landmarks from the Local Landmark Register 8.0870 Economic Hardship 8.0875 Appeals 8.0880 Re-submittal of an Application Previously Denied 8.0885 Enforcement of the Provisions of this Ordinance 8.0890

CHAPTER 8 DEVELOPMENT REGULATIONS

ARTICLE II - LAND USE PROCEDURES

6
INTRODUCTORY PROVISIONS SECTION Introduction and Application...............................................................................................8.1000 Definitions..........................................................................................................................8.1005 Application Requirements ..................................................................................................8.1010 Incomplete Applications.....................................................................................................8.1015 False Statements on Application and Supporting Documents............................................8.1020 Conditions of Approval.......................................................................................................8.1025 Withdrawal of Application...................................................................................................8.1030 Time Computation..............................................................................................................8.1035 LEGISLATIVE PROCEDURES Legislative Procedures.......................................................................................................8.1100 Hearing Required...............................................................................................................8.1105 Notice 8.1110 Initiation of Legislative Changes.........................................................................................8.1115 Hearings Body 8.1120 Final Decision 8.1125 DEVELOPMENT ACTION Development Action Procedures 8.1200 Review of Development Action Applications 8.1205 Decision 8.1210 Review of Development Action 8.1215 LAND USE ACTION Review of Land Use Action Applications 8.1300 Action on Land Use Action Applications 8.1305 Administrative Land Use Decisions with Prior Notice 8.1310 Administrative Decision without Prior Notice 8.1315 Application and Supporting Documents 8.1320 Modification of Application 8.1321 Filing of Staff Report for Hearing........................................................................................8.1325 Hearings Body 8.1330 Notice ................................................................................................................................8.1335 Contents of Notice 8 1340 Limitation on Oral Presentations ........................................................................................8.1345 The Hearing Record shall include ......................................................................................8.1350 Hearing Procedure.............................................................................................................8.1355 Land Use Action Decisions ................................................................................................8.1360 Notice of Decision..............................................................................................................8.1365 Decision on Plan Amendments and Zone Changes ...........................................................8.1370 Review by Planning Commission and City Council ............................................................8.1375 Proposed Findings and Conclusions..................................................................................8.1380 Modifications of Approval...................................................................................................8.1400

CHAPTER 8 DEVELOPMENT REGULATIONS

7 APPEALS SECTION Definitions..........................................................................................................................8.1500 Who May Appeal................................................................................................................8.1505 Filing Appeals ....................................................................................................................8.1510 Notice of Appeal.................................................................................................................8.1515 Determination of Jurisdictional Defects ..............................................................................8.1520 Transcription Requirement.................................................................................................8.1525 Consolidation of Multiple Appeals ......................................................................................8.1530 Scope of Review................................................................................................................8.1535 Hearing on Appeal.............................................................................................................8.1540 Declining Review ...............................................................................................................8.1545 Development Action Appeals.............................................................................................8.1550 Withdrawal of an Appeal....................................................................................................8.1560 LIMITATIONS ON APPROVALS Limitations on Approvals 8.1600 Duration of Approval ..........................................................................................................8.1605 Approval Extension 8.1610 DECLARATORY RULING Availability of Declaratory Ruling 8.1700 Persons who may Apply for a Declaratory Ruling 8.1705 Procedures 8.1710 Effect of Declaratory Ruling 8.1715 Interpretation 8.1720 Enforcement 8.1725

CHAPTER 8 DEVELOPMENT REGULATIONS

8
INTRODUCTORY PROVISIONS SECTION Title....................................................................................................................................8.2000 Purpose .............................................................................................................................8.2005 Interpretation......................................................................................................................8.2010 Construction and Terminology ...........................................................................................8.2015 Definitions..........................................................................................................................8.2020 GENERAL PROVISIONS Procedure..........................................................................................................................8.2100 Scope of Regulation...........................................................................................................8.2105 Minimum Standards...........................................................................................................8.2110 Sale ...................................................................................................................................8.2115 Delegation..........................................................................................................................8.2120 Subdivision or Partitions in the OSPR Zone 8.2125 Enforcement ......................................................................................................................8.2130 SUBDIVISION APPLICATION PROCEDURE Pre-Application Meeting 8.2200 Neighborhood Meeting 8.2202 Application Submission 8.2205 Scale of Tentative Subdivision Plat 8.2210 Informational Requirements 8.2215 Phased Development Plan 8.2220 Approval of Phased Development Plan 8.2225 Development Following Approval 8.2230 Required Findings for Tentative Subdivision Approval 8.2235 Subdivisions may be created following two tracks: Track 1 (General) and Track 2 (Clear and Objective Standards) 8.2236 Improvement Requirements (For Track 1 and Track 2 Subdivisions) 8.2240 Resubmission of Denied Tentative Subdivision Plats 8.2245 FINAL SUBDIVISION PLAT Submission of Final Plat 8.2300 Submission of Final Plat for Phased Development.............................................................8.2305 Form of Final Plat 8.2310 Technical Review of Subdivision Plat.................................................................................8.2315 Conditions of Final Subdivision Plat Approval ....................................................................8.2320 Improvement Agreement....................................................................................................8.2325 Bond or Cash Deposit........................................................................................................8.2330 Final Plat Approval.............................................................................................................8.2335 Recording of Plat ...............................................................................................................8.2340
ARTICLE III – LAND DIVISION STANDARDS

CHAPTER 8 DEVELOPMENT REGULATIONS

9 LAND PARTITIONING SECTION Applicability of Regulations ................................................................................................8.2400 Filing Procedures and Requirements.................................................................................8.2405 Requirements for Tentative Partition Approval...................................................................8.2410 Improvement Requirements...............................................................................................8.2415 Application Review.............................................................................................................8.2420 Appeal ...............................................................................................................................8.2425 FINAL PARTITION PLAT Final Partition Plat Filing ....................................................................................................8.2500 Extensions.........................................................................................................................8.2505 Requirements ....................................................................................................................8.2510 Special Partitioning Regulations.........................................................................................8.2515 Final Plat Approval.............................................................................................................8.2520 BOUNDARY LINE ADJUSTMENTS Boundary Line Adjustment Regulations 8.2600 Submission Requirements 8.2605 Approval Process 8.2610 Approval Criteria 8.2615 Extensions 8.2620 MIDDLE HOUSING AND EXPEDITED LAND DIVISIONS Purpose 8.2650 Applicability 8.2655 Procedures 8.2660 Criteria of Approval – Expedited Land Division 8.2665 Criteria of Approval – Middle Housing Land Division 8.2670 Conditions of Approval – Expedited Land Division and Middle Housing Land Division 8.2675 Final Plat for Expedited Land Division and Middle Housing Land Division 8.2680 DESIGN STANDARDS AND IMPROVEMENTS Compliance Required 8.2700 Blocks, Lots and Parcels....................................................................................................8.2705 Streets 8.2710 Fundamental Design Elements..........................................................................................8.2715 Grading of Building Sites....................................................................................................8.2720 SUPPLEMENTARY PROVISIONS Improvement Procedures...................................................................................................8.2800 Improvements in Partitions.................................................................................................8.2805 Acceptance of Improvements.............................................................................................8.2810 Transportation System Analysis.........................................................................................8.2815 Access Management Standards ........................................................................................8.2820
CHAPTER 8 DEVELOPMENT REGULATIONS 10 SUPPLEMENTARY PROVISIONS (Continued) SECTION Street Dedications..............................................................................................................8.2825 Variances...........................................................................................................................8.2830 City as Beneficiary to Covenants, Conditions and Restrictions...........................................8.2835 CC&Rs Middle Housing .....................................................................................................8.2840

CHAPTER 8 DEVELOPMENT REGULATIONS

11 ARTICLE IV - SITE AND DESIGN
INTRODUCTORY PROVISIONS SECTION Purpose and Intent.............................................................................................................8.3000 Applicability of Site and Design Review..............................................................................8.3005 Exemptions........................................................................................................................8.3010 Procedure..........................................................................................................................8.3015 Neighborhood Meeting.......................................................................................................8.3017 Site Improvement Agreement.............................................................................................8.3020 Plans Required ..................................................................................................................8.3025 Special Studies, Investigations and Reports ......................................................................8.3030 Design Review Criteria.......................................................................................................8.3035 Downtown Overlay District Design Review Criteria ............................................................8.3040 C-2 Central Business District Commercial Design Review Criteria.....................................8.3045 Partial Master Development Plans.....................................................................................8.3050 SITE AND DESIGN REVIEW FOR LIVE/WORK UNITS Site and Design Review for Live/Work Units 8.3100 Purpose and Intent 8.3110 Applicability of Site Design Review and Modified Site and Design Review 8.3120 Zoning Applicability 8.3130 Procedure 8.3140 Site Improvement Agreement 8.3150 Plans Required 8.3160 Site and Design Review Criteria 8.3170 Enforcement 8.3180
REVIEW STANDARDS

CHAPTER 8 DEVELOPMENT REGULATIONS

ARTICLE V - SIGN STANDARDS

12
INTRODUCTORY PROVISIONS SECTION Title....................................................................................................................................8.4000 Purpose .............................................................................................................................8.4005 Terminology.......................................................................................................................8.4010 General Definitions ............................................................................................................8.4015 Specific Definitions.............................................................................................................8.4020 GENERAL PROVISIONS AND PROCEDURES General Provisions.............................................................................................................8.4050 Sign Permit........................................................................................................................8.4055 Procedure..........................................................................................................................8.4060 Sign Measurement.............................................................................................................8.4065 Permit Exceptions..............................................................................................................8.4070 Material 8.4080 EXEMPT, TEMPORARY AND PROHIBITED SIGNS Exempt Signs 8.4100 Temporary Signs 8.4105 Prohibited Signs 8.4110 SIGNS PERMITTED BY ZONES Signs Permitted in the OSPR Zone 8.4150 Signs in Residential Zones 8.4155 Signs Permitted in General Commercial Zones 8.4160 Signs Permitted in the MUN Zone 8.4165 Signs Permitted in the Mixed Use Live/Work (MULW) Zone 8.4170 Material 8.4171 Signs Permitted in Industrial Zones 8.4175 Signs Permitted in the Downtown Overlay District 8.4180 SIGNS REGULATED BY CLASS Wall Signs 8.4200 Roof Signs.........................................................................................................................8.4205 Free-Standing Signs 8.4210 Ground Mounted Signs......................................................................................................8.4215 Projecting Signs.................................................................................................................8.4220 Awnings and Canopy Signs ...............................................................................................8.4225 Marquee Signs...................................................................................................................8.4230 Directional Signs................................................................................................................8.4235 Billboards...........................................................................................................................8.4240 Billboards: Number Allowed...............................................................................................8.4245 Daily Display Signs ............................................................................................................8.4250
13 MAINTENANCE, CONSTRUCTION & SAFETY STANDARDS SECTION Maintenance......................................................................................................................8.4300 Wind Loads........................................................................................................................8.4305 Design ...............................................................................................................................8.4310 Seismic Loads....................................................................................................................8.4315 Combined Loads................................................................................................................8.4320 Allowable Stresses.............................................................................................................8.4325 Anchorage and Supports ...................................................................................................8.4330 Clearance from High Voltage Power Lines.........................................................................8.4335 Clearance from Fire Escapes, Exits or Standpipes ............................................................8.4340 Electric Sign Construction..................................................................................................8.4345 PERMITTED MATERIALS/ILLUMINATION Permitted Materials............................................................................................................8.4400 Illumination 8.4405 INSPECTION AND ENFORCEMENT Inspection 8.4450 Enforcement 8.4455 NON-CONFORMING AND ABANDONED SIGNS Non-Conforming Signs 8.4500 Special Requirements for Non-Conforming Signs 8.4505 Abandoned Signs 8.4510 VARIANCES Variance Application 8.4550 Time Limit on a Permit for a Variance 8.4555 HISTORICAL SIGNS Application.........................................................................................................................8.4600 Site and Design Review 8.4605 APPEALS Appeals..............................................................................................................................8.4650 SPECIAL PROVISIONS Fees...................................................................................................................................8.4700 Severability........................................................................................................................8.4705 Penalties............................................................................................................................8.4710 Interpretation......................................................................................................................8.4715
CHAPTER 8 DEVELOPMENT REGULATIONS

ARTICLE I - ZONING STANDARDS INTRODUCTORY PROVISIONS

8.0001 Title. The City of Redmond Zoning Standards is contained in Sections 8.0001 through 8.0999 herein inclusive.

8.0010 Purpose. These standards are adopted for the purpose of promoting the livability, health, safety, peace, comfort, convenience, economic well-being and general welfare of the City and not limited to, but specifically to achieve, the following designated objectives:

1. To protect the character and values of land and buildings and economic stability of sound residential, business, and industrial districts and to enhance the quality of the desired environment in them by:

A. Preventing the intrusion of inharmonious uses.

B. Preventing the encroachment on desirable open space appurtenant to each district.

C. Providing for the safe and efficient movement of existing and prospective traffic.

D. Assuring the provision of necessary off-street parking space for vehicles.

2. To provide for additional growth and development in a manner appropriate to the character of the City and which will contribute to the economic stability of the City and strengthen the basis of its private and governmental economy.

3. To assure that future development occurs in an orderly manner and is relatively compact to provide for economy and efficiency in public services and utilities and to protect the City from costs which may be incurred when unsuitable, scattered, or premature development occurs.

4. To assure satisfactory physical relationships between districts of different use characteristics and among uses of various types and to minimize conflicts among land uses.

5. To minimize traffic hazard, traffic congestion and the conflict between land uses and the movement of traffic, and to encourage alternative transportation means to automobiles.

6. To preserve the various City areas' right to be attractive and pleasing in appearance and to aid in the development of the city by assuring that development in areas of higher density or of commercial or industrial use and along appropriate routes of travel is neat, orderly, and attractive.

7. To regulate the placement, height, and bulk of buildings; and the placement and growth of vegetation within the City to ensure access to solar energy by reasonably regulating interests in property within the City, as authorized by Law, to promote and maximize the conservation of energy by preserving the option to utilize solar energy and to implement the Comprehensive Plan policies relating to solar energy.

8. To encourage the design of new buildings, structures and developments which use solar energy and protect future options to use solar energy by protecting solar access, and by having sustainable development as a goal.

9. To assure that middle housing is part of new neighborhood development consistent with the Great Neighborhood Principles and the community need to increase affordable and workforce housing.

10. To assure annexation in an orderly manner and integration of affordable and workforce housing.

[Section 8.0010 amended by Ord. #2022-04 passed June 28, 2022]

CHAPTER 8 DEVELOPMENT REGULATIONS 14

8.0020 Definitions. As used herein, the following words and phrases shall mean:

Abut. Having a common border with or being separated from such a common border by a rightof-way, alley, or easement.

Access. The right to cross between public and private property.

Access Management. The process of regulating access to streets, roads, and highways.

Accessible Route. A continuous unobstructed path connecting all accessible elements and spaces of a building or facility. Interior accessible routes may include corridors, floors, ramps, elevators, lifts, and clear floor spaces at fixtures. Exterior accessible routes may include connections to the public right-of-way, parking access aisles, curb ramps, crosswalks at vehicular ways, walks, ramps, and lifts.

Accessory Dwelling. See Dwelling, Accessory Dwelling.

Accessory Structure. A non-dwelling structure incidental and subordinate to the main structure and located on the same property as the main structure.

Accessory Use. A use incidental and subordinate to the main use of a property and located on the same property as the main use.

Acreage, Gross. The total area within a unit of land.

Adjacent. See Abut.

Adjoining. See Abut.

Administrative Decision. A discretionary action or permit decision made without a public hearing but requiring public notification and an opportunity for appeal.

Adverse Impact. Negative effect of some action governed by this Code.

Affected Person. Owners of record of real property located within a minimum distance of 100 feet, exclusive of public street and other rights-of-ways, from the property subject to and affected by a decision

Affordable Housing. Affordable housing is generally defined as housing within the means of a household that may occupy low- and moderate-income housing, meeting one of the thresholds defined in this section. Affordable Housing warrants low- and moderate-income affordability deed restrictions of at least 30 years. The affordability period may be adjusted based on the use of development incentives, modifications, variances or exceptions.

In the case of dwelling units for rent, “affordable” means housing for which rent and utilities are no more than 30 percent of the gross annual household income for a family earning less than or equal to 60 percent the Area Median Income (AMI), based on the most recent HUD Income Limits for the Bend-Redmond Metropolitan Statistical Area.

In the case of dwelling units for sale, “affordable” means housing in which the mortgage, amortized interest, taxes, insurance, HOA and associated fees, if any, constitutes no more than 30 percent of such gross annual household income for a family earning less than or equal to 80 percent of the Area Median Income (AMI), based on the most recent HUD Income Limits for the Bend-Redmond Metropolitan Statistical Area.

Agent. Any person who is authorized to represent or act for any other person. Alley. A public or private way reserved as a secondary means of access to the back or side of a property and not intended for transporting through traffic. Alternate use of an alley is permissible when determined to be in the public interest.

Alter. To change, add to, or modify a structure or a use.

Apartment. A building or portion thereof, designated for occupancy by five or more families living independently of each other. See Dwelling and Multi Family Complex

Architectural Theme. The use of a repetitive and dominant element or style to create a unifying and coherent form of construction.

Arena, Indoor. A facility intended to enclose spectator sporting events. Auto Detailing. A use designed for cleaning the inside and outside of autos, not including an automated car wash.

CHAPTER 8 DEVELOPMENT REGULATIONS 15

Auto Sales. Commercial sale of new or used autos

Auto and Tire Service. A commercial business engaged primarily in supplying services generally required in the operation and maintenance of automotive vehicles. Major automotive repairs, painting and body and fender work, are excluded from this definition.

Automobile Recycling or Wrecking Yard. A premises used for the long-term outdoor storage and sale of used automobile or truck parts.

Awning. A sheet of canvas or other material stretched on a frame and used to keep the sun or rain off a storefront, window, doorway, or deck.

Batch Plant, Asphalt. A heavy industrial use intended for mixing and preparing asphalt and / or other oil-based paving surfacing material requiring large scale preparation.

Batch Plant, Concrete. A use intended for mixing and preparing concrete or similar (non-oilbased) paving surfacing material requiring large scale preparation.

Bed and Breakfast. Provides accommodations plus breakfast on a daily or weekly basis in an operator- or owner-occupied home that is primarily used for this purpose. A Bed and Breakfast may contain up to 5 rental guest rooms.

Bee. Any stage of development of the common domestic honeybee, Apis mellifera species. Beekeeper. A person owning, possessing, or controlling one or more colonies of bees.

Berm. A continuous small rise or hill in the ground which is intended to buffer or visually screen certain elements of development such as parking areas.

Block. An area of land bounded by streets or by a combination of streets and public parks, cemeteries, railroad rights-of-ways or lines, shorelines or waterways, natural topographical barriers, or corporate boundary lines of a city.

Boarding or Rooming House. A building containing five or less guest rooms intended or designed to be used, or that are used, rented, or hired out to be occupied, or that are occupied for sleeping purposes by guests

Buildable Area. The portion of property that can be used to construct a building. Buildable area is the area excluding yard setbacks, easements (includes the width of easement and airspace above), and other legal or physical prohibitions to construction

Building. Any structure used or intended for supporting or sheltering any use or occupancy. Building Footprint. The area of a building as measured around its foundation.

Building Height. See Height, Building

Canopy A permanent roofed structure which may be free-standing or partially attached to a building for a purpose of providing shelter to patrons in automobiles, and patrons on foot, but shall not mean a completely enclosed structure.

Capacity. The maximum level of designated use of any facility, or part thereof, as determined pursuant to the provisions of the City’s adopted codes and standards or state statutes.

Car Wash. Automated or manual facility whose primary use is the washing of cars. Cemetery. Land dedicated to being used for the burial and honoring of the dead.

Child. A child under 13 years of age or a child under 18 years of age who has special needs or disabilities and requires a level of care that is above normal for the child’s age.

Child Care Center (commercial). Any registered child care facility which is not a child care home.

Child Care Facility. Any Facility that provides child care to children, including a day nursery, nursery school, child care center, certified or registered family care home or similar unit operating under any name.

Child Care Home (residential). Any registered childcare facility or certified group childcare home where child care is offered in a residence up to 16 children, including children of the provider, regardless of full-time or part-time status consistent with State Law. (ORS 329A.440). Church. A place or structure having a primary function of providing a place of worship for a known / established non-profit religion or religious institution.

City. City Staff, Development Director, Planning Commission, Hearings Officer, or City Council.

8 DEVELOPMENT
16
CHAPTER
REGULATIONS

Clear and Objective. Relates to decision criteria and standards that do not involve substantial discretion or individual judgment in their application.

Clinic, Animal. See Veterinarian.

Clinic, Medical-Dental. See Office.

Club. Private organization that has limited membership.

Colony. A beehive and its equipment and appurtenances, including one queen, bees, comb, honey, pollen, and brood.

Commercial Amusement Establishment. Any place where entertainment or amusement is provided, where the public on a commercial basis may observe or join in the activities.

Common Area. Land within a development not individually owned or dedicated for public use, which is designed and intended for the common use or enjoyment of the residents of the development. May include complementary structures and improvements.

Comprehensive Plan. The Plan and coordinated land use map and policy statements adopted by the City of Redmond pursuant to ORS Chapters 197 and 227 for the Redmond Urban Growth Boundary.

Conditional Use. A use which requires a conditional use permit review and approval.

Conforming. In compliance with the regulations of the applicable zone designation.

Construction Plans The plans, profiles, cross sections and drawings or reproductions thereof, approved by a registered professional engineer, which show the details of the work to be done on public improvements and facilities.

Contiguous. See Abut

Contiguous Land. Units of land under the same ownership which abut, irrespective of roadways, easements, or rights-of-way.

Contractor’s Yard. Outdoor area containing contractor equipment or privately owned, not-forsale, supplies.

Convalescent Home. See Nursing Home Convention Center. Public, semi-public, or privately-owned facility whose primary purpose is to accommodate large gatherings of people for events.

Cottage Clusters. Groupings of no fewer than four detached housing units per acre with a footprint of less than 900 square feet each and that include a common courtyard. Cottage Cluster units may be located on a single Lot or Parcel, or on individual Lots or Parcels.

Cottage Cluster Project. A development site with one or more cottage clusters. Each cottage cluster as part of a cottage cluster project must have its own common courtyard.

Cottage Development. See Section 8.0285.

Dairy Product Processing Facility. A facility that processes milk into products for sale and distribution.

Day Care (commercial). See Child Care Center.

Day Care (residential). See Child Care Home.

Day Nursery. See Child Care Facility.

Deck. A covered or uncovered flat-floored area adjoining a dwelling, or other building, and adapted especially to outdoor use.

Dedication. The transfer of private property to public ownership upon written acceptance. The term may also be used for dedications to a private homeowners’ association.

Demolition. Any act or process that destroys in part or in whole a building or structure.

Density(ies). A measurement of the number of dwelling units in relationship to a specified unit of land; density calculations are based upon net acreage, which generally excludes land devoted to right-of-way. The net acreage is determined by subtracting from the total acreage of the lot or parcel that which is deemed necessary for street dedication and that area used for private streets and common driveways, if any.

Density Transfer, OSPR / “R” Zone: The allowance of reduced-sized lots in residential zones in exchange for a specific area of Open Space Park Reserve land, which would be dedicated,

CHAPTER 8 DEVELOPMENT REGULATIONS 17

deeded, or sold to the City of Redmond. Density transfer provisions apply to residentially zoned land immediately adjacent to desired land zoned (or potentially zoned) OSPR / Open Space Park Reserve, or land at the urban edge not adjacent to land in designated urban reserves. The percentage of land area to be credited as ‘transfer land’ is to be evaluated on a case-by-case basis.

Developer. Any person, corporation, partnership, agent of the developer, or other legal entity that creates, or proposes to create, a land development, subdivision, partitioning, or other development including residential, commercial, or industrial developments.

Development. Any human-caused change to improved or unimproved real estate that requires a permit or approval from any agency of the city, county, or state, including but not limited to, buildings or other structures, mining, filling, grading, paving of infrastructure, excavation or drilling operations, landscaping, and storage of materials. Development excludes site grading prior to site development for overhead and underground utility improvements where the real property will be returned to essentially the same condition following completion of improvements.

Discretionary. A permit action or decision that involves substantial judgment.

Drainage. (1) Surface water runoff; (2) the removal of surface water or groundwater from land by drains, grading, or other means, which include runoff controls to minimize erosion and sedimentation during and after construction or development.

Drainage Easement An easement used for drainage ditches, pipes, or other natural or manmade water conveyance or runoff.

Duplex. See Dwelling, Duplex.

Dwelling. As follows:

Accessory Dwelling Unit (ADUs) A secondary living unit, attached or detached, accessory to a single-family detached dwelling in a residential zone containing cooking facilities meeting the dimensional standards and other requirements of the zone district in which it is located.

Duplex Two attached, or detached, dwelling units on a Lot or Parcel when neither is an accessory dwelling.

Dwelling Unit (DU) A single unit providing complete independent living facilities for one or more person, including permanent provisions for living, sleeping, eating, cooking, and sanitation.

Guest House A detached building used as sleeping quarters for guests of the occupants of the main dwelling and having no cooking facilities.

Live/work Dwelling A building type that consists of commercial space on the ground floor and residential space on the ground and/or upper floors The ground floor commercial or office space has visibility, signage, and access from the primary street. To preserve the pedestrian orientation of the commercial or office space, alley or rear access is required to provide services and residential parking. A separate home occupation may be allowed in addition to the commercial space. The permitted live/work dwelling types are defined below:

A. Live/work Townhouse: A townhouse in which a business shall be limited to the ground floor and may not exceed 50% of the floor area of the entire townhouse unit, excluding the garage.

B. Live/Work Apartment: A residential multi-story, multi-unit building with a minimum of 50% of the building ground floor used as retail, office, or commercial space. Residential units may be rented or for sale (condominium or cooperative) units.

Manufactured Dwelling.

Residential trailer. A structure constructed for movement on the public highways that has sleeping, cooking and plumbing facilities, that is intended for human

CHAPTER 8 DEVELOPMENT REGULATIONS 18

occupancy, that is being used for residential purposes and that was constructed before January 1, 1962.

Mobile Home. A structure constructed for movement on the public highways that has sleeping, cooking and plumbing facilities, that is intended for human occupancy, that is being used for residential purposes and that was constructed between January 1, 1962, and June 15, 1976, and met the construction requirements of Oregon mobile home law in effect at the time of construction. Manufactured Home. A structure constructed for movement on the public highways that has sleeping, cooking and plumbing facilities, that is intended for human occupancy, that is being used for residential purposes and that was constructed in accordance with federal manufactured housing construction and safety standards and regulations in effect at the time of construction.

Manufactured dwelling does not include any building or structure constructed to conform to the State of Oregon Structural Specialty Code or the Low-Rise

Residential Dwelling Code or any unit identified as a recreational vehicle by the manufacturer.

Multi-Family Complex. A building or group of buildings on a single lot containing a total of five or more dwelling units.

Quadplex. Four attached, or detached, dwelling units on a Lot or Parcel. Single Family Detached Dwelling. A detached building containing one dwelling unit, including manufactured homes

Triplex Any configuration of three attached, or detached, dwelling units on one Lot or Parcel.

Easement. A right to use a parcel of land for specific purposes, but in which ownership of the land is not transferred. Easement includes use of property and air above the easement.

Easement encroachment prohibitions shall consist of, but are not limited to, permanent structures, buildings including porches and roof eaves or components thereof, or any other horizontal and vertical encroachment, obstruction, excavation, or alternation of the easement. Egress. Access point for exiting a building, site, or area

Equipment, General. Smaller equipment that is typically used outdoors, such as lawnmowers, weed trimmers, rental trucks and trailers, rototillers, and so forth.

Equipment, Heavy. Large equipment including but not limited to backhoes, dump trucks, cranes, bulldozers, semi-truck trailers and their containers, and so forth.

Exaction. Contributions, dedications, and/or payments required to mitigate development impacts as an authorized condition for receiving a development permit.

Exempt Vegetation. A tree or other plant that is shown by the sun chart accompanying a solar access permit application to cast existing shade on a protected area.

Family. One or more persons, related or unrelated, living together in a single dwelling unit.

Farm Use. 'Farm Use' means the employment of land including that portion of such lands under buildings supporting accepted farming practices for the purpose of generating an income by raising, harvesting, and selling crops, or by the feeding, breeding, management, and sale of, or the product of, livestock, poultry, fur-bearing animals, or honeybees or for dairying and the sale of dairy products or any other agricultural or horticultural use or animal husbandry or any combination thereof. Farm use includes the preparation and storage of the products raised on such land for man's use and animal use and disposal by marketing or otherwise. It does not include the use of land subject to the provision of ORS 321, except land used exclusively for growing cultured Christmas trees, or to the construction and use of dwellings customarily provided in conjunction with the farm use. The definition of 'accepted farming practice,' as used in DCC Title 20 and the Redmond Development Code, means a mode of operation that is common to farms of a similar nature, necessary for the operation of such farms to generate an income and customarily utilized in conjunction with farm use.

CHAPTER 8 DEVELOPMENT REGULATIONS 19

Feasibility Study. An analysis of a specific project or program to determine whether it can be successfully carried out.

Floor Area. The sum of the gross horizontal areas of the floors of a building, measured from the exterior faces of the exterior walls or from the center line of walls separating two buildings, but not including:

1. Attic space providing headroom of less than seven feet.

2. Basement, if the floor above is less than six feet above grade.

3. Uncovered steps or fire escapes.

4. Private garages, carports, or porches.

Food Cart. A mobile vehicle, such as a food truck, trailer, or car, from which service or food or beverages is provided to walk-up customers. Food carts shall be mobile at all times and must be on wheels that are functional and appropriate for the type of unit at all times.

Food Cart Pod. A site containing more than one food cart and associated amenities on private property.

Fraternal Organization. See Club.

Frontage. That portion of a parcel of property which abuts a dedicated public street or highway or an approved private way (except an alley).

Garage, Public or Private Parking. A publicly or privately-owned structure having one or more tiers of heights used for the parking of automobiles. Open garages may include parking spaces for customers, patrons, or clients provided said parking spaces are clearly identified as parking spaces for the building or use which is required to provide said space.

Gas Station, Auto Service station having a primary function of providing gasoline to passenger automobiles.

Gas Station, Card Lock. Semi or fully automated service station that provides gasoline to persons having the appropriate card to enable fueling; typically intended for auto fleet (commercial vehicle) fueling.

Gift and Card Shop. Shop that exclusively sells cards and gifts.

Grade. The average level of the finished surface of the ground adjacent to the exterior of a building.

Established Grade. The elevation of the ground or infrastructure as officially established by city authority.

Existing Grade. The surface of the ground or infrastructure at a stated location as it exists prior to disturbance in preparation for a project.

Finished Grade. The final elevation of the ground surface after man-made alterations, such as grading, grubbing, filling, or excavating, have been made on the ground surface.

Ground Level Grade. The average of the finished ground level at the center of all walls of a building. In case walls are parallel to and within five feet of a sidewalk, alley or other public way, the above-ground level should be measured at the elevation of the sidewalk, alley, or public way.

Natural Grade. The existing grade or elevation of the ground surface that exists or existed prior to man-made alterations, such as grading, grubbing, filling, or excavating. Grading. Any leveling, stripping, cutting, filling, or stockpiling of earth or land, including the land in its cut, or filled condition, to create new grades.

Regular Grading. Any grading that involves 5,000 cubic yards or less of material.

Engineered Grading. Any grading that involves more than 5,000 cubic yards of material, or any filling of land that is intended to provide support for structures and or infrastructure.

Granny Flat. See Dwelling, Accessory Dwelling.

Gross Square Footage. The sum of all areas on all floors of a building included within the outside faces of the exterior walls.

CHAPTER 8 DEVELOPMENT REGULATIONS 20

Ground Cover. A plant material or non-plant material (e.g., bark chips, mulch, gravel) that is used to cover bare ground.

Guest House. A detached building used as sleeping quarters for guests of the occupants of the main dwelling and having no cooking facilities; differs from an Accessory Dwelling.

Health Club. A place of business with equipment and facilities for exercising and improving physical fitness.

Health Spa. A place of business with equipment and facilities for physical care.

Hearings Body. The city staff, Community Development Director, or designee, Planning Commission, Hearings Officer, or City Council.

Hearing, Initial. The first hearing authorized and conducted by the Planning Commission, Hearings Officer, or City Council.

Hearings Officer. A planning and zoning hearings officer appointed or designated by the City Council pursuant to ORS 227.165.

Height, Building. With natural grade of up to and including 10%, “height of a building” is the vertical distance measured between the elevation of the curb serving the property, and the highest point on the roof. For sites having a natural grade of greater than 10%, “height of a building” is measured from average finished grade to the highest point of the roof, and a maximum of 4 feet of introduced fill is permitted. See illustrations below

21
CHAPTER 8 DEVELOPMENT REGULATIONS

4’ fill (max.) permitted without a variance

The highest shade producing point of the structure two hours before and after the solar zenith on December 21. The highest shade producing point could be the tallest point of the structure. Whenever the roof pitch is at an angle less than 17 degrees, the highest shade producing point will be the bottom eave of the structure (see figure below).

Highest Shade Producing Point

CHAPTER 8 DEVELOPMENT REGULATIONS 22

Hive. Any Langstroth type structure with movable frames intended for the housing of a bee colony. A hive typically consists of a cover, honey supers, brood chambers, and a bottom board.

Home Occupation. Any business activity carried on by a resident, or resident family, of a dwelling as an accessory use within the same dwelling, or in an accessory structure on the same property. The business activity shall not be detrimental to the overall character of the neighborhood.

Homeless Shelter. A building, facility, or portion thereof used by a not-for-profit agency or organization for the purpose of providing sleeping quarters.

Hospital. A facility with an organized medical staff, with permanent facilities that include inpatient beds and with medical services, including physician services and continuous nursing services under the supervision of registered nurses, to provide diagnosis and medical or surgical treatment primarily for but not limited to acutely ill patients and accident victims, to provide treatment for the mentally ill or to provide treatment in special inpatient care facilities. Hotel (Motel). Any building containing six or more guest rooms intended or designed to be used, or that are used, rented, or hired out to be occupied, or that are occupied for sleeping purposes by guests.

Impervious Surface. Any hard-surfaced area that does not readily absorb or retain water, including but not limited to building roofs, paved parking and driveway areas, sidewalks, and other paved areas.

Improvement. Any man-made physical addition to a property affecting the value or use of that property.

Improvement Agreement. Any contract, security or agreement that may be required and accepted between the developer and the city to assure that necessary improvements will function as required for a specific period of time. See also Performance Guarantee Indoor Commercial Recreation. A room or rooms within an enclosed building which is designated and used for recreational purposes by the public.

Infill Development. Development or redevelopment of vacant, parcels of land in otherwise built-up areas.

Ingress Access point for entering a building, site, or area.

Instrument Runway. A runway equipped or to be equipped with a precision electronic navigation aid or landing aid or other air navigation facilities suitable to permit the landing of aircraft by an instrument approach under restricted visibility conditions. Instrument runways are classed as precision and non-precision instrument runways.

Intensity of Use. The range or scale or concentration or degree of impact of use, often measured by floor area ratios, building coverage or traffic generation.

Interest. Includes a lot or parcel, share, undivided interest, or membership which includes the right to occupy the land overnight, and a lessee's interest in land for more than three years or less than three years if the interest may be renewed under the terms of the lease for a total period more than three years. Interest does not include any interest in a condominium as defined by state law or any security interest under a land sales contract, trust deed or mortgage. Interest does not include divisions of land created by lien foreclosures or foreclosures of recorded contracts for the sale of real property.

Junkyard. Primary or accessory use of land for the storage, dismantling or selling of castoff or salvage material of any sort in other than the original form in which it was manufactured and/or assembled and not including reconditioned second-hand furniture or fixtures sold from within a walled building.

Kennel. A lot or buildings in which four or more dogs or cats, at least four months of age, are kept commercially for board, propagation, training, or sale.

CHAPTER 8 DEVELOPMENT REGULATIONS 23

Land Division. The subdividing or partitioning of land for any purpose into lots or parcels, or the creation of lots or parcels for the purpose of sale or lease.

Land Division, Expedited. A division of land as defined in ORS 197.360. Land Division, Middle Housing. A partition or subdivision of a lot or parcel on which the development of middle housing is allowed.

Landscape. The act of improving the aesthetic appearance of (a piece of land) by changing its contours, adding ornamental features, or planting groundcover, trees, and shrubs.

Landscaping Supply. Indoor or outdoor sales (wholesale or retail) of bulk items typically associated with landscaping, including (but not limited to) topsoil, mulch, gravel, river rock, fountains, pavers, and so forth.

Land Use. The main activity that occurs on a piece of land.

Live/Work Unit, New. A new structure or use, which is being created to have no more than two (2) dwelling units, as well as a business component (more intensive than a licensed home occupation as defined in this code).

Live/Work Unit, Modified. Any existing on-site building that is being changed into a structure for the purpose of having no more than two (2) dwelling units, as well as a business component (more intensive than a licensed home occupation as defined in this code).

Live/Work Unit, Existing. Any existing on-site building in which no more than two (2) dwelling units, as well as a business component (more intensive than a licensed home occupation as defined in this code), already exists.

Livestock. Domestic farm animals customarily raised or kept on farms for profit or other purposes. Excludes smaller animals traditionally kept as house pets. Loading Area. An off-street space within a building or on the same lot with a building, for the temporary parking of a commercial vehicle or truck while loading or unloading merchandise or materials.

Lodge. See Club

Lot. A lawfully created unit of land that is created by a subdivision of land. See also Lot of Record

Corner Lot. A lot abutting upon two or more streets other than alleys, at their intersection, or upon two parts of the same street, such streets or parts of same street forming an interior angle of less than 135 degrees within the lot line.

Cul-de-sac Lot. A lot fronting the bulb of a cul-de-sac that has a frontage of less than 50 feet.

Double Frontage Lot. An interior lot having frontage on more than one street, or a corner lot having frontage on more than two streets.

Flag Lot. A lot which fronts a public street or road and where access to the street or road is by a private driveway. A lot shall be considered as a "flag lot" if the pole of the flag lot is less than half the width of the average lot width having between 20 and 50 feet of street frontage.

Interior Lot. A lot other than a corner lot.

Irregular Lot. A lot of such a shape or configuration that technically meets the area, frontage and width requirements of these standards but meets these requirements by incorporating unusual elongations, angles, curvilinear lines unrelated to topography or other natural land features.

Nonconforming Lot. A lot that lawfully existed prior to the enactment of the requirements of these standards, but which does not meet the minimum lot size or lot width requirements.

Through Lot. An interior lot having a frontage on two streets and/or highways, not including an alley.

See also Lot, Double Frontage.

Lot Area. The total horizontal surface area within the property lines of a lot, exclusive of streets.

8 DEVELOPMENT REGULATIONS 24
CHAPTER

Lot Consolidation. The consolidation of lot lines resulting in fewer lots.

Lot Coverage. The percentage of a lot containing the footprint of structures or buildings.

Lot Line. The property line bounding a lot.

Front Lot Line. For a lot other than a corner lot, the lot line abutting a street other than an alley; for a corner lot, a lot line abutting either street other than an alley. In the case of a corner lot, or double frontage lot, the Community Development Department Director, or designee, shall determine the front lot line. The determination shall be made to provide the necessary public safety and shall be based on street classifications, house and driveway orientation, lot dimensions, and adjacent property use.

Rear Lot Line. The lot line that is opposite and most distant from the front lot line. In the case of an irregular, triangular or other shaped lot, a line ten (10) feet in length within the lot parallel to and at a maximum distance from the front lot line.

Side Lot Line. Any lot line or lines not a front or rear lot line. An interior side lot line is a lot line common to more than one lot or to the lot and an alley; and exterior side lot line is a lot line common to the lot and a street other than an alley.

Lot Line Adjustment. The adjustment of common property line(s) or boundaries between adjacent lots, tracts, or parcels for the purpose of accommodating a transfer of land. The resulting adjustment shall not create any additional lots, tracts, or parcels and all reconfigured lots, tracts, or parcels shall contain sufficient area and dimension to meet minimum requirements for zoning and building purposes.

Lot of Record. Any unit of land created as follows:

1. A lot in an existing, duly recorded subdivision;

2. A parcel in an existing, duly recorded major or minor land partition; or,

3. An existing unit of land for which a survey has been duly filed which conformed to all applicable regulations at the time of filing; or

4. Any unit of land created by deed description or metes and bounds provided, however, contiguous units of land created by deed description or metes and bounds under the same ownership and not conforming to the minimum parcel size of these standards shall be considered one (1) lot of record.

Lot Width. The horizontal distance between the side lines of a lot measured at right angles to its depth along a straight line parallel to the front lot line at the minimum required setback. Lumber Mill. Facility having the primary purpose of shaping and cutting raw or partially finished lumber.

Manufactured Dwelling Park. Any place where four or more manufactured dwellings or prefabricated structures, as defined in ORS 455.010, that are relocatable and more than eight and one-half feet wide, are located within 500 feet of one another on a lot, tract or parcel of land under the same ownership, the primary purpose of which is to rent or lease space or keep space for rent or lease to any person for a charge or fee paid or to be paid for the rental or lease or use of facilities or to offer space free in connection with securing the trade or patronage of such person.

Manufacturing, Commercial. Light assembly as a support use to the primary commercial use (i.e., furniture assembly, electronic repair / assembly).

Manufacturing, Heavy Industrial. Industrially related manufacturing; typified by use of larger machinery or chemicals; not generally associated with commercial sales other than as a secondary use to the primary industrial use.

Manufacturing, Light Industrial. Fully enclosed; manufacturing of items permitted in the respective zone; does not use chemicals or materials which may be toxic or otherwise detectable visually or by odor from neighboring properties.

Martial Arts Studio: A place where any art of self-defense is taught and/or practiced. Master Development Plan (MDP). A detailed development plan showing compliance with the applicable Great Neighborhood Planning Principles, the Redmond Urban Area Framework Plan,

CHAPTER 8 DEVELOPMENT REGULATIONS 25

and adopted Area Plans on lands currently zoned Urban Holding-10 (UH-10). The MDP typically identifies proposed land uses, buildings locations, landscaping, potential art locations, access and internal circulation, and infrastructure for a project where the development program may be planned to occur in phases over a period of several years. MDP’s may include multiple land parcels. The MDP is a required urban planning step before annexation and rezoning property. Master Plan; Master Development Plan. An overall plan indicating the physical and functional interrelationships between uses and facilities for a project, a series of projects or phased developments. Components of a master plan are set forth in RDC 8.0270.

Middle Housing. Means Duplexes, Triplexes, Quadplexes (fourplexes), Cottage Clusters, and Townhouses

Ministerial. A routine governmental action or decision that involves little or no discretion. The issuance of a building permit is a ministerial action.

Mini Storage. Securable, “for rent” unit intended to store personal items on a long-term basis. Mixed-Use. Development that combines residential, commercial, public, or institutional uses within the same building or site. Mixed-use development may occur as a “vertical” mixed-use, where housing is located above the ground floor, or “horizontal” mixed-use, where housing is located on the ground floor or in a separate building or part of a building.

Within horizontal mixed-use developments, residential uses shall be located behind commercial uses relative to the front lot line, or if located at the front of the building, be less than 20% of the frontage of such mixed-use building. Stand alone residential uses may be horizontally mixed with other uses as specified in the MUN zone. Modification. A modification is an amendment to an approved site development plan, a condition of approval, or change to an existing structure that has not received a land use approval.

Minor Modification: A change that is less than 25% of any building footprint, height or size, site improvement or dimensional requirement.

Major Modification: A change that is equal to or greater than 25% of any building footprint, height or size, site improvement or dimensional requirement.

Floor Area: The sum total of the gross horizontal areas of each story of the building measured from the inside of exterior walls or from the centerline of the party walls.

Floor area ratio (FAR): The total floor area of all structures and all above grade floors on a lot divided by the lot area. For FAR calculations, the floor area is measured to the inside of exterior walls. The following shall be excluded from the floor area calculation:

A. Space below grade

B. Mechanical spaces

C. Elevator and stair shafts

D. Lobbies and common spaces, including atriums

E. Space dedicated to parking

F. Decks, balconies, porches

Modification of Application. Means the applicant’s submittal of new information after an application has been deemed complete and prior to the close of the record on a pending application that would modify a development proposal by changing one or more of the following previously described components: proposed uses, operating characteristics, intensity, scale, site lay out (including, but not limited to, changes in setbacks, access points, building design, size or orientation, parking, traffic, or pedestrian circulation plans), or landscaping in a manner that requires the application of new criteria to the proposal or that would require the finding of fact to be changed. It does not mean an applicant’s submission of new evidence that merely classifies or supports the pending application.

Monument. A permanent and fixed survey marker conforming to the requirements established by state law and the regulations of Deschutes County.

CHAPTER 8 DEVELOPMENT REGULATIONS 26

Multi-family Complex. See Dwelling, Multi-family Complex.

MUTCD: Manual of Uniform Traffic Control Devices, Federal Highway Administration.

Needed Housing. As defined in ORS 197.303, as amended.

Net Square Footage. Gross square feet of a building less common areas and interior walls. Common areas include stairwells, elevators, storage areas, computer server rooms, other shafts, lobbies, underground parking, and similar kinds of uses.

Non-Conforming Structure or Use. A lawful existing structure or use at the time these Development Code standards or any amendment thereof becomes effective, which does not conform to the requirements of the zone in which it is located.

Nursery for Plants. Enclosed facility intended for commercially growing or distributing plants. Nursing Home. Any home, institution or other structure maintained or operating for the nursing and care of four or more ill or infirm adults not requiring hospital care or hospital facilities.

Office. A room, suite of rooms, or portion of a building used for the practice of a profession or for conducting the affairs of a business.

Open Space. Land retained as undeveloped land for use as passive or active recreational area; land that is developed with park, landscaping, or other non-structural amenities. See also Usable Open Space.

Overlay Zone. A defined area or district which provides regulations in addition to those regulations in the underlying zones.

Owner. Person in whom is vested the ownership, dominion, or title of property; includes contract purchaser.

Partial Master Development Plan (PMDP). A land use plan including the same requirements as a Master Development Plan (MDP) but for only a portion of the subject property(s). The PMDP is a required urban planning step before annexation and rezoning property. Only the partially master planned portion of the property may be annexed unless otherwise approved by the City.

Partition. To divide an area or tract of land into two or three parcels. Performance Bond. A document, acceptable by the city, issued by a surety company, in return for a fee or premium, guaranteeing the performance of the terms and conditions of a development approval.

Performance Guarantee. Any security or contract that may be accepted by a municipality as a guarantee that improvements required as part of an application for development are satisfactorily completed. See also Improvement Agreement.

Person. An individual, firm, partnership, corporation, company, association, syndicate, or any other legal entity, whether he, she or it is acting for himself, herself, or itself, or as the servant, employee, agent, or representative of another.

Plat, Final. The final plan of all or a portion of a subdivision or partition that is presented to the approving authority for final signature and recording in accordance with state law.

Plat, Tentative. A plan of all or a portion of a subdivision or partition that is submitted for approval in accordance with state law, and that is not a final plat.

Precision Machine Shop. Shop or facility that manufactures alters or modifies metal parts. Typically applies to computerized machining of tools and parts requiring high precision machining.

Primary Use. The most prevalent use to which property is or may be devoted, and to which all other uses on the premises are derived as accessory or secondary uses. As used relative to dwelling units, the primary dwelling would be the first dwelling unit to be located on a specific parcel or lot.

Principal Use. The primary or predominant use to which the property is or may be devoted, and to which all other uses on the premises are accessory.

Printing and Publishing, Retail. Service commercial use providing printing services available to the general public.

CHAPTER 8 DEVELOPMENT REGULATIONS 27

Printing, Wholesale. Printing intended to serve retail or other wholesale uses rather than the general public.

Public Recreation Facility. A facility that is owned and operated by a public entity primarily for recreational uses. Accessory uses such as art studios, meeting/classrooms, child care, offices, and related commercial uses including food vendors and retail are allowed.

Public Right-of-Way. A strip of land acquired by dedication, prescription or condemnation and intended to be occupied by a street, trail, waterline, sanitary sewer, and/or other public utilities or facilities.

Public Transportation Station. A place which includes a covered structure or a covered facility that is specifically designed to permit users to access public transit (such as buses). Such stations permit users to access one or more modes of public transit and incorporate public accommodations such as vehicle and bicycle parking, rest rooms, vending machines, benches, and tables for the convenience of travelers.

Public Use. A structure or property intended or used for a public property is or may be devoted, and to which all other uses on the premises are accessory.

Public Way. Any street, alley, or other parcel of land open to the outside air leading to a public street, which has been deeded, dedicated, or otherwise permanently appropriated to the public for public use and that has a clear width and height of not less than 10 feet.

Quasi-Judicial Action. A decision or action of a public body that involves substantial discretion or judgment in applying the standards and criteria of this Code.

Recreational Area. Areas (other than village green) that are designed, constructed, designated, or used for recreational activities. Examples include: open space containing a park; landscaped or undisturbed natural areas; landscaped trails where a 10-foot-wide paved trail is in a 20 foot easement and is not a public sidewalk; pavilion areas at least 600 square feet in area; pool; splash pad; play court for racket sports and basketball; clubhouse; community room; art and seated viewing area; community garden; a plaza(s) at least 600 square feet in area.

Recreational Vehicle. A vehicle with or without motive power that is designed for use as temporary living quarters for recreational, camping, or travel use. Recreational vehicles include travel trailer, truck camper, and motor home

Recreational Vehicle (RV) Park. A place where two or more recreational vehicles are located within 500 feet of one another on a lot, tract, or parcel of land under common ownership and having as its primary purpose temporary living quarters and the renting of space and related facilities for a charge or fee. Approved Safe Parking and Vehicle Camping site, per Chapter 5 of City Code, do not constitute an RV Park.

Recreational Vehicle Site. A plot of ground within a recreational vehicle park intended for the accommodation of a recreational vehicle or other camping unit on a temporary basis The site may include individual use areas for picnic tables, fire pits, private parking, and other private uses.

Recycling Collection Center. Center used as a collection point for household or other types of residential recycling.

Recycling Use. Alteration of a material or commodity for re-use. Includes, but is not limited to, recycling aluminum, glass, paper, and plastic.

Replat. An amendment to a recorded plat.

Research and Development Facility, General. Establishment primarily engaged in industrial or scientific research including limited product testing; does not include medical research. Research and Development Facility, Medical. Medically related research; use of biohazardous chemicals subject to DEQ regulations.

CHAPTER 8 DEVELOPMENT REGULATIONS 28

Reserve Strip. "Reserve Strip" means a strip of land usually a minimum of one foot in width, reserved across the end of a street or alley terminating at the boundary of a subdivision, or a strip of land between a dedicated street of less than full width and adjacent acreage, in either case reserved or held for future street extension or widening.

Residential Facility. A residential care, residential training, or residential treatment facility, as those terms are defined in ORS 443.400, licensed, or registered under ORS 443.400 to 443.460 or licensed under ORS 418.205 to 418.327 by the Department of Human Services that provides residential care alone or in conjunction with treatment or training or a combination thereof for six to fifteen individuals who need not be related. Staff persons required to meet licensing requirements shall not be counted in the number of facility residents and need not be related to each other or to any resident of the residential facility. (ORS 197.660)

Residential Home. A residential treatment or training or an adult foster home licensed by or under the authority of the department, as defined in ORS 443.400, under ORS 443.400 to 443.825, a residential facility registered under ORS 443.480 to 443.500, or an adult foster home licensed under ORS 443.705 to 443.825 that provides residential care alone or in conjunction with treatment or training or a combination thereof for five or fewer individuals who need not be related. Staff persons required to meet licensing requirements shall not be counted in the number of facility residents and need not be related to each other or to any resident of the residential home. (ORS 197.660)

Residential Use. Occupancy such as a human dwelling or lodging place. Retail, Bulky. Large retail items including furniture, cars, etc

Retail, Medical Supply. Shop that specializes in goods and commodities relating to care and rehabilitation of medical patients.

Ridge Line (building). The top of a roof at its highest elevation. Road. A public or private way that is created to provide ingress or egress for persons to one or more lots, parcels, areas, or tracts of land. See also Street.

Rock Crushing, Permanent. Use of facility or site to crush rock as an ongoing operation Could involve imported or on-site rock and may involve transporting crushed rock to other sites. Rock Crushing, Temporary. Use of a site to crush rock on a temporary basis. Must involve on-site rock only but may involve transporting said crushed rock to an off-premises site.

Crushing shall be incidental to primary use on the site.

Roof Treatments. Any additions to a style of roof that breaks up a single pitched roof. Examples of roof treatments are dormers, cupolas, and multi-pitched roofs. School. A place for teaching, demonstration, or learning.

Semi-Public Use. A structure or use intended or used for a semi-public purpose by a church, lodge, club, or any other non-profit organization.

Setback. The distance between the vertical face of a structure and a property line. See Yard. Site Improvement. Landscaping, paving for pedestrian and vehicle ways, outdoor lighting, recreational facilities, etc., added to a site.

Slope. The amount of deviation of a surface from the horizontal, usually expressed as a percentage or by degrees.

Start of Construction. The first placement of permanent construction of a structure (other than a manufactured home) on a site, such as the pouring of slabs or footings or any work beyond the stage of excavation.

Story. The portion of a building included between the upper surface of any floor and the upper surface of the floor next above it, except the top story shall be that portion of a building within the upper surface of the top-most floor and ceiling or roof above. Street. A public or private way, other than an alley, that is created to provide primary vehicle access for persons to one or more lots, parcels, areas, or tracts of land. See also Road. Arterial Street (Major). A street with access control, channelized intersections, restricted parking, and that collects and distributes traffic to and from minor arterial streets.

CHAPTER 8 DEVELOPMENT REGULATIONS 29

Arterial Street (Minor). A street with a high volume of traffic that collects and distributes traffic to and from collector streets.

Collector Street. A restricted access street supplementary to the arterial street system used or intended to be used principally for the movement of traffic between arterial and local streets.

Cul-de-sac. A street having one end open to traffic and the other end terminating in a vehicle turnaround.

Dead End Street. A street having only one end open to traffic, and the other end terminating in a “stub out”.

Frontage Road. A street parallel and adjacent to a collector or arterial providing access to abutting properties.

Local Street. A street intended primarily for access to abutting properties.

Roadway. That portion of a street developed for vehicular traffic.

Structure. Any combination of materials forming any construction, which requires a foundation and is intended to support or shelter any use of occupancy. Also see definition of Accessory Structure.

Structural Alteration. Any change to the supporting members of a structure including foundation, bearing walls or partitions, columns, beams, girders, or any structural change in the roof or in the exterior walls.

Subdivide Land. To divide land into four or more lots within a calendar year.

Subdivision and Subdivided Lands. Please refer to ORS 92.010(16).

Subdivider. Any person who causes land to be subdivided

Thrift Store. Retail use that vends second-hand (used) items including clothing and furniture. Townhouse. A dwelling unit that is part of a row of two or more attached dwelling units, where each dwelling unit is located on an individual Lot of Parcel and shares at least one common wall with an adjacent unit.

Townhouse Project. One or more townhouse structures constructed, or proposed to be constructed, together with the development site where the land has been divided, or is proposed to be divided, to reflect the Townhouse property lines and the any commonly owned property.

Tract, Private / Public. A piece of land set aside in a separate area for dedication to the public, a homeowner’s association, to other entity (e.g., open space, recreation facilities, sensitive lands, etc.).

Truck Stop. Fueling facility that also provides food, washing facility and other amenities whose primary clientele is semi-truck drivers and rigs.

Unbuildable Area. An area in which a structure could not be built as a permitted use under existing development standards for the area according to the Redmond Development Code. Urban – Rural Interface. The area where urban development interfaces with Deschutes County zoned rural areas.

Usable Open Space. Areas that contain natural or man-made vegetation that are physically accessible year-round for use by the general public, or by specific groups or persons within a defined project boundary or physical area (such as within a Planned Unit Development). Water surfaces such as ponds or canals; canyon walls, and other areas that are not physically accessible year-round to the general public are not to be counted as part of the required “usable open space area”.

Use. The purpose to which land and/or any structure or improvement thereon is or is proposed to be put. The word "use" is synonymous with the terms "land use" and "use of land" unless the context clearly indicates otherwise.

Utilities. Public or private infrastructure which includes but is not limited to sewer, water, electric, telephone, natural gas, and cable television.

Utility Facility. Any major structure owned or operated by a public, private or cooperative electric, fuel, communication, sewage or water company for the generation, transmission,

CHAPTER 8 DEVELOPMENT REGULATIONS 30

distribution or processing its products or for the disposal of cooling water, waste, or by-products, and including power transmission lines, major trunk pipelines, power substations, dams, water towers, sewage lagoons, sanitary landfills and similar facilities, but excluding sewer, water, gas, telephone and power local distribution lines and similar minor facilities allowed in any zone.

Vehicle Storage and Towing Yard. Lot for storage of parking tow-a-way’s, impound yard, and storage lot for autos, trucks, busses, and R.V.’s.

Veterinary Clinic. A facility in which medical care is provided to animals. Warehouse. Storage space for household or commercial goods within an enclosed building without direct access to individual storage spaces. Excludes wholesale distribution and storage, and vehicular storage.

Wholesale Distribution. An establishment engaged in the bulk sales or storage of goods with distribution and storage facilities without direct public access. Includes “contractor supplies”. Workforce Housing. Housing that constitutes no more than 30 percent of such gross annual household income for a family earning 80 to 120 percent of the Area Median Income (AMI). AMI is based on the most recent HUD Income Limits for the Bend-Redmond Metropolitan Statistical Area. Workforce Housing warrants income-based deed restrictions of at least 30 years. The affordability period may be adjusted based on the use of development incentives, modifications, variances, or exceptions.

Yard. An open space on a lot which is unobstructed from the ground up, except as otherwise provided in these standards. Yards provide light, ventilation, privacy, room for drainage, landscaping, and emergency access.

Yard, Front. A yard between side lot lines and measured horizontally at right angles to the front lot line from the front lot line to the nearest point of a building. Any yard meeting this definition and abutting on a street other than an alley shall be considered a front yard.

Yard, Rear. A yard between side lot lines and measured horizontally at right angles to the rear lot line from the rear lot line to the nearest point of a building.

Yard, Side. A yard between side lot lines and measured horizontally at right angles from the side lot line to the nearest point of a building.

Zero Lot Line. The location of a building on a lot in such a manner that one or more of the building’s sides rest directly on a lot line.

Zero Lot Line Subdivision. A type of subdivision utilizing zero lot lines between units and providing for potential individual ownership of each lot.

[Section 8.0020 amended by Ord. #2009-04 passed April 28, 2009]

[Section 8.0020 amended by Ord. #2009-03 passed May 26, 2009]

[Section 8.0020 amended by Ord. #2009-14 passed December 8, 2009]

[Section 8.0020 amended by Ord. #2010-10 passed October 26, 2010]

[Section 8.0020 amended by Ord. #2011-09 passed November 8, 2011]

[Section 8.0020 amended by Ord. #2012-04 passed April 24, 2012]

[Section 8.0020 amended by Ord. #2012-10 passed August 14, 2012]

[Section 8.0020 amended by Ord. #2015-01 passed February 24, 2015]

[Section 8.0020 amended by Ord. #2016-17 passed January 31, 2017]

[Section 8.0020 amended by Ord. #2018-09 passed September 11, 2018]

[Section 8.0020 amended by Ord. #2020-15 passed November 10, 2020]

[Section 8.0020 amended by Ord. #2022-04 passed June 28, 2022]

[Section 8.0020 amended by Ord. #2022-09 passed December 13, 2022]

CHAPTER 8 DEVELOPMENT REGULATIONS 31

8.0025 Compliance with Zoning Provisions.

1. A lot may be used, and a structure or part of a structure may be constructed, reconstructed, altered, occupied, or used only as these standards permit.

2. No dimensional requirement of these standards shall be violated after its terms become effective unless specifically provided for herein.

3. No lot area, yard, or other open space which is required by these standards for one use shall be used as the required lot area, yard, or open space for another use.

[Section 8.0025 amended by Ord. #2020-15 passed November 10, 2020]

8.0026 Consistency with Plans and Laws. Actions initiated under this Code shall be consistent with applicable state and federal laws and regulations as these laws and regulations may now or hereafter provide. No parcel of land or structure may be used for, or in conjunction with, an activity that violates any state or federal law.

[Section 8.0026 added by Ord. #2014-03 passed April 1, 2014]

8.0030 Authority and Land Use or Zoning Approval.

1 Authority. Whenever necessary to enforce the provisions of the Development Code, the Director, or designee, shall have the authority in addition to other remedies provided by law, to issue compliance notices and orders, assess penalties, record violations and liens with the City Clerk, issue citations, to institute injunction, mandamus, abatement, or other appropriate proceedings to prevent, temporarily or permanently enjoin or abate a violation.

2. Approval. The Direction, or designee, or other Approving Authority, shall not give land use or zoning approval on any development or use of land that is not in full compliance with all applicable provisions of the Development Code, regardless of whether the applicant(s) or current owner(s) created the violation.

3. Prior to the construction, alteration or change of use of any structure or lot for which land use approval or a zoning permit, but not a building permit, is required, approval for such construction, reconstruction, alteration, or change of use of any structure or lot shall be obtained from the Planning Department. Approval may be authorized if:

A. It results in the property coming into full compliance with all applicable provisions of the Development Code or City Code. This includes sequencing of permits or other approvals as part of a voluntary compliance agreements

B. It is necessary to protect public safety and welfare.

C It is for work related to and within a valid easement over, on or under an affected priority.

[Section 8.0030 amended by Ord. #2022-04 passed June 28, 2022]

8.0035 Abrogation and Greater Restrictions. It is not intended by these standards to repeal, abrogate, or impair any existing easements, covenants, or deed restrictions.

8.0040 Interpretation. Where the conditions imposed by any provision of these standards are less restrictive than comparable conditions imposed by any other provisions of these standards or by any ordinance, resolution, or regulation, the provisions which are more restrictive shall govern.

CHAPTER 8 DEVELOPMENT REGULATIONS 32

8.0045 Repeal of Standards as Affecting Existing Liabilities. The repeal of any zoning standard contained herein shall not have the effect to release or extinguish any penalty, forfeiture, or liability incurred under such zoning standards, unless a provision of these standards shall so expressly provide, and such provisions repealed shall be treated as still remaining in force for the purpose of sustaining any proper action or prosecution for the enforcement of such penalty, forfeiture, or liability, and for the purpose of authorizing the accusation, prosecution, conviction, and punishment of a person or persons who violated the repealed provisions or part thereof prior to the effective date of these standards.

8.0050 Existing Agreement and Zoning Permits. This does not repeal, abrogate, or impair any existing easements, covenants, deed restrictions, zoning permits such as preliminary plat and partition approvals, conditional use permits, non-conforming use permits, temporary use permits, special exceptions, for building permits.

8.0055 Site Plan Review.

1. No building, grading, parking, land use, sign or other required permit shall be issued for a use for which a site plan is required by the Redmond Site and Design Review Standards until such time those requirements are met.

2. Non-compliance with a final approved site plan pursuant hereto shall be a zoning standards violation.

8.0060 Authorization of Similar Uses and/or Waivers. The Community Development Director, Designee, or Planning Commission may determine that a use or site element not specifically listed in the allowed uses of a zone shall be included among the allowed uses; this determination shall be made by administrative process. A similar use determination shall be decided based on the following criteria:

1. The use or element is similar in character to one or more of the principal uses permitted;

2. The traffic generated on such use is similar to one or more of the principal permitted uses;

3. The use is not first permitted in a less restrictive zoning district; and

4. The use is consistent with the comprehensive plan. Conditions of approval may be required to assure the proposed use is consistent with the purpose of the applicable zone and comprehensive plan.

[Section 8.0060 amended by Ord. #2016-17 passed January 31, 2017]

8.0065 Establishment of Zones and Districts. (Identifies allowable zones and definitions for them):

R-1 Limited Residential Zone. To provide lower density residential neighborhoods for single family detached residences, middle housing, and a mix of other housing types.

R-2 Limited Residential Zone. To provide low density residential neighborhoods for single family detached residences, middle housing, and a mix of other housing types.

R-3 Limited Residential Zone. To provide medium density residential neighborhoods with a mix of single-family detached residences, middle housing, and a mix of other housing types.

R-3A Limited Residential Zone. To provide medium density residential neighborhoods with a mix of single-family detached residences, middle housing, mix of other housing

CHAPTER 8 DEVELOPMENT REGULATIONS 33

types, and allow for some limited commercial use on a conditional use basis. Examples of limited commercial uses include restaurant, theater, art gallery, office space and retail.

R-4 General Residential Zone. To provide medium density residential neighborhoods with a mix of single-family detached residences, middle housing, and a mix of other housing types including multi-family residential development. Limited commercial uses such as offices are also conditionally permitted where compatible with surrounding development.

R-5 High Density Residential Zone. To provide high density residential neighborhoods with an emphasis on multi-family development, middle housing, and smaller lot single family developments. Limited commercial uses such as offices are also conditionally permitted where compatible with surrounding development.

Higher Density Overlay Zone. Various areas within the city that permit density up to 30 units per net acre. The underlying base zone controls the land uses.

UH-10 Urban Holding Zone. To retain large undeveloped or underdeveloped land areas for future urban development; to act as a holding category and is considered agricultural in nature as it will allow agricultural uses to continue operation until urbanization takes place. Land in the UH-10 Holding Zone requires annexation, master plan approval, a zone change and/or a comprehensive plan amendment before urban development can occur. In most instances, Master plans are required before development can occur.

C-1 Strip Service Commercial Zone. To create and preserve areas suitable for commercial uses and services primarily oriented to automobile traffic, requiring extensive outdoor display and storage, and support of the central business district or principal downtown shopping area. In general, this zone shall be applied to those areas already existing and desirable to retain and for those areas that, because of new and/or changing traffic patterns, should be developed for such purpose. In addition, this zone allows for high density residential development in these areas where such development will not adversely affect commercial development in the zone as a whole.

C-2 Central Business District Commercial Zone. To create and preserve areas suitable for commercial uses and services on a broad basis to serve as the central shopping or principal downtown area for the City. In general, this zone shall be applied to the town "center" already existing and desirable to retain, and to abutting and adjacent areas necessary to serve population growth. In any event, no other C-2 Zone shall be established until there is demonstrated need for such action; no two C-2 Zones shall be established in such relationship to each other that they cannot act as one center.

Downtown Design Overlay Zone. To create and preserve areas within the C-2 Central Business District Zone that is vibrant and pedestrian-friendly where people can shop, work, and play in a traditional downtown setting. In general, this district will encourage a vibrant mix of pedestrian-oriented uses, including residential, shopping and entertainment uses and increase in the density and intensity of development.

C-3 Special Service Commercial Zone. To create and preserve areas suitable for special commercial uses and services and compatible non-commercial uses, and on a broad basis to serve as a center for emergency services such as medical-health care for the City. The zone should also encourage the location of uses which provide close and easy access for that sector of the population which is in most need of such services such as the elderly and maintain the quiet and low intensity use atmosphere deemed preferential for such uses.

C-4 Limited Service Commercial Zone. To retain the general character of the limited strip type commercial that presently exists in that area encompassed by this zone, and to provide for a lower intensity of heavily auto-related business while maintaining an

CHAPTER 8 DEVELOPMENT REGULATIONS 34

attractive appearance in the area of the western entry to the City; such entry being a high use route for visitors to the area.

C-5 Tourist Commercial Zone. To provide for commercial uses primarily oriented to travelers and tourists in locations complimentary to existing facilities and future major transportation facilities and to provide incentive for public and private investments in traveler and tourist related complexes.

M-1 Light Industrial Zone. To provide for light industrial uses such as light manufacturing, research, transportation facilities and similar uses which have a limited impact on surrounding properties and are compatible with clean non-polluting industries along with limited office and commercial activities which support these light industrial uses. Furthermore, uses associated with the M-1.5 General Industrial Zone can possibly be permitted.

M-1.5 General Industrial Zone. To provide for general industrial needs such as defined offices, industrial park activities, manufacturing, research, and contractor uses using less than 35% of the property for outdoor storage of raw or assembled materials. Development, site design and architecture should promote quality, compatibility, and aesthetics Storage must be sufficiently screened by fences or landscaping. M-1.5 uses can be approved in either the M-1 Light Industrial Zone or M-2 Heavy Industrial Zone when approved through a Conditional Use Permit.

M-2 Heavy Industrial Zone. To promote the economic diversification by allowing a wide range of industrial and heavy commercial uses and providing sufficient land for industries that have a more pronounced impact on the urban environment because of noise, smoke, air, and other emissions or because of traffic and other operating characteristics associated with these industries. The M-2 zone also allows for heavy commercial uses in areas where previous subdivisions of land and current ownership patterns have resulted in separate ownerships of smaller M-2 zoned parcels and, therefore, challenged to be readily used for industrial purposes. Furthermore, uses associated with the M-2 Heavy Industrial Zone can possibly be permitted.

FG Fairgrounds Zone. To allow for development or enhancement of the Deschutes County Fairgrounds to support services, facilities, or events to serve the region (e.g., related to training, sporting, recreational, medical, conference, public safety, or emergency coordination)

(LLI) Large Lot Industrial Zone. That area within the City identified to attract, aid, or facilitate industrial and business development projects focused on, in support of, or that directly benefit traded-sector uses that require an adequate supply of large, developable parcels of industrial land for industrial uses, including distribution centers and warehouse centers.

OSPR Open Space Park Reserve Zone. To preserve and provide for open space areas of natural, scenic, historical, or geological significance and to provide areas for recreational development and use, both passive and active. The OSPR zone also provides for private development appropriate with the goals and master plan for the canyon and the transfer of development rights to areas suitable for higher density development.

Airport Compatibility Zone. In order to provide for the safety and use of land coincident with the airport and prevent man-made or natural objects from encroaching into necessary aviation airspace, certain airport control zones are created which include all of the land lying within transitional surfaces, conical surface, instrument approach surface, non-instrument approach surfaces and horizontal surface. These zones are established as indicated on the official zoning map for existing runways and future modifications thereto, Roberts Field, or any other airport that may be constructed

CHAPTER 8 DEVELOPMENT REGULATIONS 35

necessitating aviation controls which will affect land within the corporate limits of Redmond.

PF Public Facilities Zone. To provide for public facility and other uses such as: wastewater treatment facilities, water storage reservoirs, well sites, public schools, public or private child care facilities, transportation/mobility, libraries, museums, pavilions, public plazas, public safety or emergency services, emergency training and coordination facilities, and Public Works Administration facilities. Park Zone. To provide for public park uses such as playgrounds, ball fields and open space.

MUE Mixed-Use Employment Zone. The purposes of this zone are to:

1. Areas designated MUE are intended for development as employment centers developed as campus-type or light industrial with some limited commercial and residential development contained within the MUE area. Stand alone residential projects are not permitted within the MUE area. The City may provide for mixed use projects located within the MUE through planned developments.

2. Commercial uses must be of a type and scale that is designed to support surrounding industrial, and employment uses and may not be used for commercial development that serves a regional retail function, such as large merchandise retailers, home improvement centers, and mini-mall developments.

3. Development within the district should be oriented to pedestrians and support non-motorized and mass transportation modes.

MUN Mixed-Use Neighborhood Zone. The minimum size for this zoning district is 3 acres. The purposes of this zone are to:

1. Establish an area in which a critical mass of retail, service, and other commercial uses together with civic uses can be located which can provide everyday goods and services to residents of the surrounding neighborhoods. Residential uses may be combined with commercial uses (as horizontal or vertical mixed-uses or live/work units) or may be allowed as standalone uses when developed as multi-family housing subject to site and design standards.

2. Encourage development that exhibits the physical design characteristics of pedestrian-oriented, storefront-style shopping streets; and

3. Promote the health and well-being of residents by encouraging physical activity, alternative transportation, and greater social interaction.

MULW Mixed Use Live/Work Zone. The purpose of the MULW zone is to:

1. Provide a mixed-use area that is appropriate for development which may include both living units and work space;

2. Provide flexibility for the development of live/work units; and,

3. Provide locations, where appropriate, for new businesses to start up and existing businesses to continue and potentially expand.

[Section 8.0065 amended by Ord. #2009-03 passed May 26, 2009]

[Section 8.0065 amended by Ord. #2009-14 passed December 8, 2009]

[Section 8.0065 amended by Ord. #2011-09 passed November 8, 2011]

[Section 8.0065 amended by Ord. #2015-01 passed February 24, 2015]

[Section 8.0065 amended by Ord. #2016-17 passed January 31, 2017]

[Section 8.0065 amended by Ord. #2017-12 passed December 12, 2017]

[Section 8.0065 amended by Ord. #2020-15 passed November 10, 2020]

[Section 8.0065 amended by Ord. #2022-04 passed June 28, 2022]

CHAPTER 8 DEVELOPMENT REGULATIONS 36

[Section 8.0065 amended by Ord. #2022-09 passed December 13, 2022]

8.0070 Location of Zones. The boundaries of the zones listed in these standards shall be as indicated on the most recent City of Redmond Zone Map, as amended, which is hereby adopted by reference. The boundaries shall be modified in accordance with Section 8.0750 et seq (Amendments).

[Section 8.0070 amended by Ord. #2022-04 passed June 28, 2022]

8.0075 Zoning Maps. A Zoning Map or Zoning Map Amendment adopted by Section 8.0070 of these standards or by an amendment to said section shall be prepared by authority of the Planning Commission or be a modification by the City Council of a map or map amendment so prepared. The map or map amendment shall be dated with the effective date of adoption of the map or map amendment. A certified print of the adopted map or map amendment shall be maintained in the office of the County Clerk, the office of the City Manager and the Planning Department as long as these standards remain in effect.

8.0080 Zone Boundaries. Unless otherwise specified, Zone Boundaries are section lines, subdivision lines, lot lines, center lines of streets, alleys, canal, or rights-of-way, water courses, ridges or rimrocks, other readily recognizable or identifiable natural features, or such lines extended. Whenever any uncertainty exists as to the boundary of a zone as shown on the Zoning Map or amendment thereto, the following regulations shall control:

1. Where a boundary line is indicated as following a street, alley, canal, or right-of-way, it shall be construed as following the center line of such right-of-way

2. Where a boundary line follows or approximately coincides with a section, lot, or property ownership line, it shall be construed as following such line.

3. When a lot is divided by a zone boundary and the property owner disputes the location of the boundary, the owner may file a declaratory ruling to determine the exact location of the zone boundary. In this case, the determination shall be made by the Hearings Body, subject to appeal by the City Council.

4. Where a public street, alley, canal, or railroad right-of-way is officially vacated, the zoning regulations applicable to abutting property on each side of the center line of such right-of-way is officially vacated, the zoning regulations applicable to abutting property on each side of the center line of such right-of-way on each respective side thereof. If the right-of-way is vacated in total to one property owner, the zoning of that abutting property shall apply to the total vacated property.

[Section 8.0080 amended by Ord. #2022-09 passed December 13, 2022]

8.0085 Zoning of Annexed Areas. Property annexed to the city shall be zoned in compliance with approved Urban Area Master Plans or with a zoning classification that is compatible with planned land use designations in the Comprehensive Plan, the Redmond Urban Area Framework Plan, as determined by the City.

[Section 8.0085 amended by Ord. #2015-01 passed February 24, 2015]

CHAPTER 8 DEVELOPMENT REGULATIONS 37

RESIDENTIAL USE ZONES

[Section 8.0125 deleted by Ord. #2022-04 passed June 28, 2022]

8.0130 Urban Holding UH-10 Zone. The City shall administer the provisions of Title 20 Redmond Urban Area Zoning Ordinance of the Deschutes County Code for this County zoning district.

1. Master Development Plans. The development and approval of an Urban Area Master Plan subject to the provisions of RDC 8.0270 is required as a condition of annexation, prior to or concurrent with rezoning from UH-10 to City zoning districts.

2. Exception to Master Development Plans Requirement. Approval of a development plan may be granted without going through a Master Development Plan process according to the following requirements:

Non-Residential Properties.

A. The development plan is 12 acres or less in size; and,

B. The development plan addresses the applicable Great Neighborhood Principles; and, the development plan includes an appropriate local grid street plan, that complies with street spacing and connectivity requirements in the Redmond TSP and showing street connectivity and bike/pedestrian system connectivity to adjacent planned and unplanned residential areas; and,

C. The development plan meets applicable requirements for land near the urban edge; and,

D. The development approval is obtained through a PUD process except when the property is to be used for a public use, such as for a park or school or some other public facility; and,

E. Annexation to the City of Redmond is proposed as part of the development plan; and,

F. The development plan addresses all other applicable requirements of the Redmond Comprehensive Plan and Development Code; and,

G. The development plan conforms to the density and design guidelines established for the area in the Redmond Urban Framework Plan and/or an adopted Area Plan.

Residential Properties.

H. The parcel is within the City of Redmond or can be annexed to the City; and,

I. The parcel is 3 acres or less in size; and,

J. The development plan conforms to the density and design guidelines established for the area in the Redmond Urban Framework Plan and/or an adopted Area Plan; and,

8 DEVELOPMENT REGULATIONS 38
CHAPTER
Limited Residential
Zone. 8.0105 Limited Residential
Zone. 8.0110 Limited Residential
Zone. 8.0111 Limited Residential
Zone. 8.0115 General Residential
Zone.
High Density Residential
8.0100
R-1
R-2
R-3
R-3A
R-4
8.0120
R-5 Zone.
Density
8.0121 Higher
Overlay Zone.
8.0125 Residential Neighborhood Mixed Use RMU Zone.

K. The development plan meets the applicable Great Neighborhood Principles, Land Division, and Site Plan policies; and,

L. Significant Goal 5 resources, as defined in Redmond Comprehensive Plan, Chapter 5, are identified, and managed, in accordance with Redmond’s Goal 5 resource protection program; and,

M. The development plan includes an appropriate local grid street plan that complies with street spacing and connectivity requirements in the Redmond TSP and showing street connectivity and bike/pedestrian system connectivity to adjacent planned and unplanned residential areas; and,

N. The development plan meets applicable requirements for land near the urban edge and meets applicable planning requirements for land near the urban rural interface; and,

O. The development application meets all other required elements for one of the City’s land use planning approval processes.

[Section 8.0130 amended by Ord. #2015-01 passed February 24, 2015]

[Section 8.0130 amended by Ord. #2020-15 passed November 10, 2020]

[Section 8.0130 amended by Ord. #2022-04 passed June 28, 2022]

CHAPTER 8 DEVELOPMENT REGULATIONS 39

8.0135 Table A, Residential Zones, Uses Permitted. The following uses are allowed outright or conditionally in each of the Residential zones as follows:

DEVELOPMENT
40
CHAPTER 8
REGULATIONS
“O” means Permitted Outright “C” means Permitted Conditionally “N” means Not Allowed Residential Uses: R-1 R-2 R-3 R-4 R-5 RESTRICTIONS AND REQUIREMENTS Accessory Building: Detached sheds, shops, and garages O O O O O Must be located within the property and not in the yard setback areas. Moveable shipping containers, or similar, are not allowed. Guest House O O O O O No kitchen; uses main houses' sewer & water Accessory Dwelling Unit / Accessory Suite O O O O O Uses main houses' sewer & water or individual City Services; may have kitchen Accessory Use O O O O O Includes Home Occupations Apartments See Multi-Family Complex / Dwelling Bed and Breakfast C C C C C Boarding or Rooming House N N C O O Cottage Development O O O O O Manufactured Home O O O O O See Single Family Detached Dwelling Manufactured Home Park N N N O O See Section 8.0375 Manufactured Home Subdivision N N O O O Subject to compliance w/ applicable ORS Multi Family Complex (5 + units) C C C O O Single Family Detached Dwelling, Duplex, Triplex, Quadplex, Townhouse, Cottage Cluster O O O O O Nursing, Convalescent, and Assisted Living Facility N N C C C More than 15 people Planned Unit Development C C C C C Residential Care Facility N N C C O Defined in and regulated by ORS Residential Care Home O O O O O Defined in and regulated by ORS Non Residential Uses: R-1 R-2 R-3 R-4 R-5 RESTRICTIONS AND REQUIREMENTS Child Care Facility: Child Care Center C C C C C Child Care Home O O O O O Church, Religious Institution C C C C C Community Center (private) C C C C C Community Pool (private) C C C C C Farm Use, Farming O O O O O Mini Storage N N N N N Multi-Use Trail O O O O O Park O O O O O Livestock O O O O O Subject to livestock provisions, section 8.0365 Office N N C C C Conditional in conjunction with a master plan or PUD Retail N N C C C Conditional in conjunction with a master plan or PUD

CHAPTER 8 DEVELOPMENT REGULATIONS

All "R" zones are subject to density transfer provisions. See 8.0020, "Definitions," Density Transfer, and 8.0367, "OSPR / 'R' Zone Density Transfer Provision

[Section 8.0135 amended by Ord. #2009-04 passed April 28, 2009]

[Section 8.0135 amended by Ord. #2015-04 passed May 19, 2015]

[Section 8.0135 amended by Ord. #2016-17 passed January 31, 2017]

[Section 8.0135 amended by Ord. #2018-09 passed September 11, 2018]

[Section 8.0135 amended by Ord. #2020-15 passed November 10, 2020]

[Section 8.0135 amended by Ord. #2022-04 passed June 28, 2022]

8.0137 Table for R-3A Zones, Uses Permitted The following uses are allowed outright or conditionally in the Residential Zone R-3A as follows:

allowed.

41 School (private) C C C C C Tennis Court (private) O O O O O Non-commercial use only Public Facility or Emergency Management Services C C C C C City Owned Utility Facility O O O O O Private Utility Facilities C C C C C
Residential Uses: R-3A RESTRICTIONS AND REQUIREMENTS Accessory Building: Detached sheds, shops, garages. O Must be located within the property and not in
areas.
Guest Houses or Accessory Dwelling Unit O Connected to primary residential unit utilities; includes kitchen. Accessory Use O Includes Home Occupation. Multi-Family Complex O Bed and Breakfast C Single Family Detached Dwelling, Duplex, Triplex, Quadplex, Townhouse, Cottage Cluster O Residential Care Home O Defined and regulated by ORS. Non-Residential Uses: Child Care Facility Child Care Center C Child Care Home O Church, Religious Institution C Community Center (private) C Community Pool (private) C Commercial Office C Only within buildings existing as of Oct. 20, 2007, or as modified (expanded) up to a maximum of 25%. Any modification shall require site plan review. A building Retail C Professional Offices C Restaurant C
the yard setback
Moveable shipping containers, or similar, are not
Potting sheds, or similar, must be located within the property and not in the yard setback areas.

CHAPTER 8 DEVELOPMENT REGULATIONS

[Section 8.0137 amended by Ord. #2018-09 passed September 11, 2018]

[Section 8.0137 amended by Ord. #2020-15 passed November 10, 2020]

[Section 8.0137 amended by Ord. #2022-04 passed June 28, 2022]

8.0138 Standards. Except as provided for in Section 8.0137 and 8.0615, the standards and criteria for development in the R-3 zone shall apply to development in the R-3A zone.

8.0140 Table B, Minimum Standards. The following minimum standards apply in each of the Residential zones:

Planned Unit Developments (PUDs) and Cottage Developments (COD) densities in Section 8.0275 et seq.

-

42 Theater C destroyed or damaged may be rebuilt up to the former size and general configuration. Art Gallery or Center C Public or Semi Public Uses C School (private) C Tennis Court (private) O City Owned Utility Facility O Private Utility Facilities C C = conditional uses.
Standard: R-1 R-2 R-3, R-3A R-4 R-5 Minimum Lot size - Square Feet Single Family, Duplex, Triplex 9,000 9,000 7,500 5,500 5,500 Quadplex, Cottage Clusters 9,000 9,000 7,500 7,000 7,000 Townhouse 1,500 1,500 1,500 1,500 1,500 Multi-family Complex: 5+ units No Minimum Lot Size Must Meet Density Standards Density - Units/Net Acres Minimum Density: All 4 4 5 5 8 Maximum Density: Single Family 5 5 5.8 8 8 Maximum Density: Duplex, Triplex, Quadplex, Cottage Cluster No Maximum Density Must Meet Minimum Lot Size Maximum Density: Townhouses 20 20 23.2 25 25 Maximum Density: Multi-family Complex 5+ units N/A N/A N/A 14.5 17.4 Standard: R-1 R-2 R-3, R-3A R-4 R-5
Minimum Setback Distance
Feet Front Façade, excluding garage 10 10 10 10 10 Interior Side 5/10 5/10 5 5 5

Interior side yards must be a minimum of 5 feet on one side and 10 feet on the other side for single family, duplex, triplex, and quadplex residences. Where alley access is provided, both interior side yards may be reduced to 5 feet. Exceptions to the 10-foot setback are allowed (1) when the residential lot was created prior to the adoption of this standard (November 9, 2006); (2) on cul-de-sac lots; or (3) on flag lots.

Setbacks:

ADUs: Specified in Section 8.0325

Detached Accessory Structures: Specified in Section 8.0323

Cottage Clusters: Specified in Section 8.0143

Cottage Developments: Specified in Section 8.0285 et seq.

Multi-family Complexes: Specified in Section 8.3035.4E. Table A.

Townhouses: Specified in Section 8.0142

[Section 8.0140 amended by Ord. #2012-04 passed April 24, 2012]

[Section 8.0140 amended by Ord. #2013-04 passed May 14, 2013]

[Section 8.0140 amended by Ord. #2018-09 passed September 11, 2018]

[Section 8.0140 amended by Ord. #2020-15 passed November 10, 2020

[Section 8.0140 amended by Ord. #2022-04 passed June 28, 2022]

[Section 8.0140 amended by Ord. #2022-09 passed December 13, 2022]

8.0141

Single Family Detached Dwellings and Plexes Development and Design Standards.

1. Purpose. The purpose of these Development and Design Standards is to promote and sustain:

A. Quality development throughout a variety of housing choices;

B. Architectural design that:

1. Enhances the visual environment and character of the community;

2. Preserves and protects property values, as well as public and private infrastructure investment;

3. Conveys a sense of balance and character among all neighborhoods throughout Redmond; and

4. Elevates the attractiveness and quality of life in Redmond.

2. Intent. The intent of the Development and Design Standards is to:

A. Maintain flexibility for a variety of architectural style to be developed;

43
CHAPTER 8 DEVELOPMENT REGULATIONS
Street Side 10 10 10 10 10 Rear 20 20 20 15 5 Attached Garage, access from alley or street 20 20 20 20 20
Maximum Building Height - Feet 32 32 32 45 45 Minimum Street Frontage - Feet Standard Street 50 50 50 50 40 Cul-de-sac 30 30 30 30 30 Flag Lot 20 20 20 20 20 Townhouse 20 20 20 20 20

B Continue to allow innovations in design that recognize newer technologies such as solar and wind power, telecommunications, and environmentally conscious construction methods; and,

C. Promote quality design characteristics that will enhance the long-term desirability of the dwelling, neighborhood, and community.

3. Procedure. New single-family detached dwellings and plexes, shall be reviewed for conformance with the requirements listed in this Section, subject to the procedures outlined below:

A. Track 1. Clear and Objective Process. Conformance with Section 8.0141(5), below. An application demonstrating conformance with this Section shall be shown on the architectural plans submitted with the building permit application and administered as part of the plan review process. These applications are reviewed administratively.

B. Track 2. Discretionary Process. As an alternative to the Track 1 procedure, an application may be submitted which demonstrates conformance with the Purpose and Intent of this Section as listed above. These applications are reviewed administratively unless it is determined that a public hearing is necessary, in which case the application will be reviewed by the appropriate Hearings Body. The City may also approve other architectural designs or design elements not listed in this section, approve exceptions or uniquely identifiable house styles provided they comply with the intent of this section.

C. Design Review for Manufactured and Mobile Homes not within approved mobile home parks: Some manufactured homes and mobile homes may not be able to fully comply with the requirements below. In those cases, the following features are required as part of a Track 2 process

1. At least one covered porch;

2. One exterior types of wall siding material on 4 sides;

3. Band courses; and

4 Application and Approval Process. The applications for either a Track 1 or 2 review as specified in Sections 8.0141(3)(A) and (B) above, shall be submitted prior to or in conjunction with an application for a building permit.

5. Architectural Design Standards. Although specific architectural styles are not mandated, single family detached dwellings and plexes, shall conform with the following standards:

A. Screening of Mechanical Equipment. All exterior ground mounted mechanical equipment located forward from the line of the front façade (living space and garage) of the building shall be screened from the street at the ground/eye level line of sight by use of landscaping materials such as shrubs and trees or fencing at least three (3) feet in height at installation. Solar power, wind power, and satellite dishes necessitating placement on walls or roofs for normal operation are exempt from this provision.

B. Building Design. The standards of this section apply per residential structure, rather than per dwelling unit contained in the residential structure.

1. Architectural Design. Duplicate or repetitive exterior home designs must be separated by at least one (1) lot/attached building of nonrepetitive exterior design on either side of the home and not be directly across the street from one another. Home designs will not be considered repetitious if three differentiating criteria are used as listed below:

a. Process. Builders of dwelling units or residential structures on the same street, with the exception of multiple dwelling units that are part of a single plex development, shall submit a plat showing

CHAPTER 8 DEVELOPMENT REGULATIONS 44

the house plan names, elevation designations, or pictures for adjacent homes.

b. Attached plexes are exempt.

2. Roof Design. Required Roof Design Elements:

a. Pitched or sloping roof elements;

b. Eave of at least 12 inches.

3. Front Façade Wall Design. Ten (10) façade elements listed below shall be used on the front elevation. Use of T-111 exceeding 20% of all facades, combined, is not allowed.

a. 25% fenestration of the first story front façade.

b. Window trim at least 3.5 inches wide that completely surrounds the window;

c. Band course, band molding, bellyband, belt course that runs the entire width of the front façade of relatively slight projection; or at the break of the second floor (if one exists) or at the line made by the lower roofline at the gable end;

d. Variation in wall siding, wall surface pattern or decorative materials If an area above the highest band course exists, it must contain a different siding material than the area below the band;

e. Recessed or covered front entry at least 20 square feet, with a minimum 4-foot depth measured from the front door. If columns are used, they must not be exposed dimensional lumber less than 6” x 6”;

f Windows with multi-paned sashes, operable sashes, or windows that are elliptical, round, arched, bay, semi-circular or similar design;

g Shutters;

h Balconies;

i Garage doors, including patterning relief over the door surface;

j Optional enhancements and substitutions:

i Enclosed soffits;

ii 1 ½” caliper tree in front of landscape area, in addition to required street trees;

iii Covered rear patio or porch;

iv Eave greater than 12 inches in depth, including extended soffit details;

v Where gable ends are proposed, at least three (3) gable end elements;

vi Masonry accents;

vii. Paint color schemes, with a minimum of 2 colors used; and

viii Other elements or substitutions as approved by the Community Development Director, or designee.

4. Side Elevations facing public streets. Side elevations facing streets must include either window trim at least 3.5” in width, or full-lap siding. Façade facing streets are required to have at least 10 square feet of windows or doors.

5. Front Door. A front door that is visible from the public street frontage (front yard) and pedestrian connection between the front door and the public sidewalk is required.

6. Driveways and Garages.

CHAPTER 8 DEVELOPMENT REGULATIONS 45

a. A garage is required for each newly constructed residential structure and shall be of adequate size to accommodate a minimum of one vehicle, and shall at a minimum, meet the design requirements in Section 8.0505 through 8.0515 (Off Street Parking and Loading Requirements) of the RDC.

i. Manufactured homes may meet this standard by substituting a garage with covered parking or carport.

ii. Triplexes and quadplexes may meet this standard by substituting garage or covered parking with uncovered, paved parking spot(s) per the design requirements in Section 8.0505 through 8.0515.

b. Driveways shall be of adequate size to accommodate a minimum of one vehicle, and shall at a minimum, meet the design requirements in Section 8.0515 (Parking Table and Diagram) of the Redmond Development Code.

c. A single-family detached home that adds an ADU shall continue to meet the minimum parking spaces requirement for the primary home.

d. Notwithstanding the applicable provisions of Sections 8.0505 through 8.0515 (Off Street Parking and Loading Requirements) of the RDC, all required off street parking areas and driveways constructed in conjunction with single family detached dwellings or plexes may have alternative surfaces to concrete or asphalt and may include permeable surfaces to the extent they provide an allweather surface sufficient for vehicular travel. Loose gravel, aggregate and similar surface treatments are not permitted for required parking spaces.

7 Off-street Parking. The minimum number of required off-street parking spaces for single-family detached dwellings and plexes are specified in Section 8.0500.

8. Landscaping Landscaping standards are as follows:

a. On all lots which new single-family detached dwellings or plexes are constructed, landscaping shall be installed between the corresponding façade(s) of the structure and the edge of the street(s), public or private, for the entire length of the street frontage(s).

b. Required landscaping can include, but is not limited to, a combination of the following materials: living plant material such as trees, shrubs, flowers, and lawn (can include artificial turf); and non-living materials such as walkways and courtyards consisting of brick, concrete, asphalt, decorative rock, or other approved materials. Applicable landscaping requirements are subject to the following:

i. Xeriscaping is encouraged. The minimum required allowance for plantings shall be 25%. Rock, rock gardens and bark areas without plantings do not qualify as landscaping or xeriscaping.

ii. The use of gravel is limited to spaces specified for the parking of RVs.

iii. Areas of exposed dirt are not allowed.

c. Street trees are required to be installed on all residential

46
CHAPTER 8 DEVELOPMENT REGULATIONS

lots fronting on public or private streets, including lots already platted at the time of adoption of this ordinance, but not yet developed. Additional standards are located in Section 8.3035.5.K.

i. Flag lots shall be exempt from street tree requirements unless the frontage portion of the flag lot is 30’ or greater.

d. All landscaping and street tree installation shall be completed prior to issuance of a Certificate of Occupancy

9 Fences. See Section 8.0340

10 Conversion Conversions of an existing single-family detached dwelling to a duplex, triplex, or quadplex is allowed, provided that the conversion does not increase non-conformance with applicable standards of the underlying zone and this section.

[Section 8.0141 added by Ord. #2013-04 passed May 14, 2013]

[Section 8.0141 amended by Ord. #2014-14 passed July 22, 2014]

[Section 8.0141 amended by Ord. #2015-04 passed May 19, 2015]

[Section 8.0141 amended by Ord. #2016-17 passed January 31, 2017]

[Section 8.0141 amended by Ord. #2017-12 passed December 12, 2017]

[Section 8.0141 amended by Ord. #2018-09 passed September 11, 2018]

[Section 8.0141 amended by Ord. #2020-15 passed November 10, 2020]

[Section 8.0141 amended by Ord. #2022-04 passed June 28, 2022]

[Section 8.0141 amended by Ord. #2022-09 passed December 13, 2022]

8.0142 Townhouse Development and Design Standards.

1. Procedure. New townhouses shall be reviewed for conformance with the requirements listed in this section

2. Table A: Minimum Standards.

CHAPTER 8 DEVELOPMENT REGULATIONS 47
Lot Width Number of Street Trees Required Corner Lot Tree requirements will be based on each
frontage length 50 feet and less 1 51-100 feet 2 101-150 feet 3 151 feet and more One tree/40 feet of width fronting street
street
Standard: R-1 R-2 R-3, R-3A R-4 R-5 Maximum Density (Units/Net Acre) 20 20 23.2 25 25 Minimum Lot Size (Square Feet) 1,500 1,500 1,500 1,500 1,500 Maximum Building Height (Feet) 35 35 35 45 45 Minimum Street Frontage (Feet) 20 20 20 20 20

3. Off-Street Parking. Townhouses shall meet the off-street parking requirements of Section 8.0500.

4. Areas Owned in Common. For townhouse projects, common areas must be maintained by a homeowners association or other legal entity. A homeowners association may also be responsible for exterior building maintenance. A copy of any applicable covenants, restrictions and conditions must be recorded and provided to the City prior to issuance of a building permit.

5. Design Standards. New townhouses shall meet the design standards in subsections A through G of this section.

A. Entry Orientation. The main entrance of each townhouse must:

1 Be within 8 feet of the longest street-facing wall of the dwelling unit, if the lot has public street frontage; and

2 Either:

a. Face the street (see Figure 1);

b Be at an angle of up to 45 degrees from the street (see Figure 2);

c Face a common open space or private access or driveway that is abutted by dwellings on at least two sides; or

d. Open onto a porch (see Figure 3). The porch must:

i. Be at least 25 square feet in area; and

ii. Have at least one entrance facing the street or have a roof.

48 Minimum Setback Distance (Feet) Front with alley or other rear access 10 10 10 10 5 Front without alley or other rear access 10 10 10 10 10 Front garage setback from street 20 20 20 20 20 Non-street side: Common wall lot line where units are attached 0 0 0 0 0 Exterior wall at end of a townhouse structure 5 5 5 5 5 Street Side 10 10 10 10 10 Rear with garage and alley access 0 0 0 0 0 Rear without garage 10 10 10 10 10
CHAPTER 8 DEVELOPMENT REGULATIONS
CHAPTER 8 DEVELOPMENT REGULATIONS 49
Figure 1. Main Entrance Facing the Street
8 DEVELOPMENT REGULATIONS 50
CHAPTER
Figure 2. Main Entrance at 45° Angle from the Street Figure 3. Main Entrance Opening onto a Porch

B. Unit definition. Each townhouse must include at least one of the following on at least one street-facing façade (see Figure 4):

1. A roof dormer a minimum of 4 feet in width, or

2. A balcony a minimum of 2 feet in depth and 4 feet in width and accessible from an interior room, or

3. A bay window that extends from the facade a minimum of 2 feet, or

4. An offset of the facade of a minimum of 2 feet in depth, either from the neighboring townhouse or within the façade of a single townhouse, or

5. An entryway that is recessed a minimum of 3 feet, or

6. A covered entryway with a minimum depth of 4 feet, or

7. A porch meeting the standards of subsection (A)(2)(d) of this section. Balconies and bay windows may encroach into a required setback area.

51
CHAPTER 8 DEVELOPMENT REGULATIONS
Figure 4. Townhouse Unit Definition

C. Windows. A minimum of 15 percent of the area of all street-facing facades on each individual unit must include windows or entrance doors. Half of the window area in the door of an attached garage may count toward meeting this standard. See Figure 5.

D. Driveway Access and Parking. Townhouses with frontage on a public street shall meet the following standards:

1. Garages on the front façade of a townhouse, off-street parking areas in the front yard, and driveways in front of a townhouse are allowed if they meet the following standards (see Figure 6).

a. Each townhouse lot has a street frontage of at least 15 feet on a local street.

b. A maximum of one (1) driveway approach is allowed for every townhouse. Driveway approaches and/or driveways may be shared.

c. Outdoor on-site parking and maneuvering areas do not exceed 12 feet wide on any lot.

d. The garage width does not exceed 12 feet, as measured from the inside of the garage door frame.

CHAPTER 8 DEVELOPMENT REGULATIONS 52
Figure 5. Window Coverage

a Off-street parking areas shall be accessed on the back façade or located in the rear yard. No off-street parking shall be allowed in the front yard or side yard of a townhouse.

b A townhouse project that includes a corner lot shall take access from a single driveway approach on the side of the corner lot. See Figure 7.

CHAPTER 8 DEVELOPMENT REGULATIONS 53
Figure 6. Townhouses with Parking in Front Yard 2. The following standards apply to driveways and parking areas for townhouse projects that do not meet all of the standards in subsection (1).

c Townhouse projects that do not include a corner lot shall consolidate access for all lots into a single driveway. The driveway and approach are not allowed in the area directly between the front façade and front lot line of any of the townhouses. See Figure 8.

CHAPTER 8 DEVELOPMENT REGULATIONS 54
Figure 7. Townhouses on Corner Lot with Shared Access

d A townhouse project that includes consolidated access or shared driveways shall grant access easements to allow normal vehicular access and emergency access.

3. Townhouse projects in which all units take exclusive access from a rear alley are exempt from compliance with subsection (2).

E. Screen of Mechanical Equipment. All exterior ground mounted mechanical equipment located forward from the line of the front façade (living space and garage) of the building shall be screened from the street at the ground/eye level line of sight by use of landscaping materials such as shrubs and trees or fencing at least three (3) feet in height at installation. Solar power, wind power, and satellite dishes necessitating placement on walls or roofs for normal operation are exempt from this provision.

F. Landscaping. Landscaping standards are as follows:

1. On all lots which new townhouses are constructed, landscaping shall be installed between the corresponding façade(s) of the structure and the edge of the street(s), public or private, for the entire length of the street frontage(s).

2. Required landscaping can include, but is not limited to, a combination of the following materials: living plant material such as trees, shrubs, flowers, and lawn (can include artificial turf); and non-living materials such as walkways and courtyards consisting of brick, concrete, asphalt, decorative rock, or other approved materials. Applicable landscaping requirements are subject to the following: a Xeriscaping is encouraged. The minimum required allowance for plantings shall be 25%. Rock, rock gardens and bark areas without plantings do not

CHAPTER 8 DEVELOPMENT REGULATIONS 55
Figure 8. Townhouses with Consolidated Access

CHAPTER 8 DEVELOPMENT REGULATIONS

b The use of gravel is limited to spaces specified for the parking of RVs.

c. Areas of exposed dirt are not allowed. qualify as landscaping or xeriscaping.

3. Street trees are required to be installed on all residential lots fronting on public or private streets, including lots already platted at the time of adoption of this ordinance, but not yet developed. Additional standards are located in Section 8.3035.5.K.

requirements will be based on each street frontage length.

a. Flag lots shall be exempt from street tree requirements unless the frontage portion of the flag lot is 30’ or greater.

4. All landscaping and street tree installation shall be completed prior to issuance of a Certificate of Occupancy G. Fences. See Section 8.0340

[Section 8.0142 added by Ord. #2018-09 passed September 11, 2018]

[Section 8.0142 amended by Ord. #2020-15 passed November 10, 2020]

[Section 8.0142 “Architectural Design Standards for Multi Family Structures with 5 or more attached units” repealed in its entirety and replaced with Section 8.0142 “Townhouse Development and Design Standards by Ord. #2022-04 passed June 28, 2022]

[Section 8.0142 amended by Ord. #2022-09 passed December 13, 2022]

8.0143 Cottage Cluster Development and Design Standards.

1. Procedure. New cottage clusters shall be reviewed for conformance with the requirements listed in this Section.

2. Table A: Minimum Standards.

56
Lot Width
Street Trees
Corner
50 feet and less 1 51-100 feet 2 101-150 feet 3 151 feet and more One tree/40 feet of width fronting street.
Number of
Required
Lot Tree
Standard: R-1 R-2 R-3, R-3A R-4 R-5 Maximum Density (Units/Net Acre N/A N/A N/A N/A N/A Minimum Lot Size (Square Feet) 9,000 9,000 7,500 7,000 7,000 Maximum Building Height 25 feet Minimum Setback Distance (Feet) Front 10 10 10 10 10 Side 5 5 5 5 5 Rear 10 10 10 10 10

3. Building Separation. Cottages shall be separated by a minimum distance of six (6) feet. The minimum distance between all other structures, including accessory structures, shall be in accordance with building code requirements.

4. Unit Size.

A. The maximum building footprint for a cottage is 900 square feet.

B. The maximum average floor area for a cottage cluster is 1,400 square feet per dwelling unit. Community buildings shall be included in the average floor area calculation for a cottage cluster.

5. Cluster Size.

A. Cottage clusters must include a minimum of four units per cluster.

B. A cottage cluster may include up to a maximum of 12 cottages per common courtyard. More than one cottage cluster may be permitted on a site.

6. Off-Street Parking. Cottages shall meet the off-street parking requirements of Section 8.0500.

7. Design Standards. New cottage clusters shall meet the design standards in subsections A through H of this section.

A. Cottage Orientation. Cottages must be clustered around a common courtyard, meaning they abut the associated common courtyard or are directly connected to it by a pedestrian path, and must meet the following standards (see Figure 1):

1 Each cottage within a cluster must either abut the common courtyard or must be directly connected to it by a pedestrian path

2 A minimum of 50 percent of cottages within a cluster must be oriented to the common courtyard and must:

a. Have a main entrance facing the common courtyard;

b Be within 10 feet from the common courtyard, measured from the façade of the cottage to the nearest edge of the common courtyard; and

c Be connected to the common courtyard by a pedestrian path.

3 Cottages within 20 feet of a street property line may have their entrances facing the street.

4 Cottages not facing the common courtyard, or the street, must have their main entrances facing a pedestrian path that is directly connected to the common courtyard.

B. Common Courtyard Design Standards. Each cottage cluster must share a common courtyard in order to provide a sense of openness and community of residents. Common courtyards must meet the following standards (see Figure 1):

1. The common courtyard must be a single, contiguous piece.

2. Cottages must abut the common courtyard on at least two sides of the courtyard.

3. The common courtyard must contain a minimum of 150 square feet per cottage within the associated cluster (as defined in subsection A of this section 6).

4. The common courtyard must be a minimum of 15 feet wide at its narrowest dimension.

5. The common courtyard shall be developed with a mix of landscaping, lawn area, pedestrian paths, and/or paved courtyard area, and may also include recreational amenities. Impervious elements of the common courtyard shall not exceed 75 percent of the total common courtyard area.

CHAPTER 8 DEVELOPMENT REGULATIONS 57

CHAPTER 8 DEVELOPMENT REGULATIONS

6. Pedestrian paths must be included in a common courtyard. Paths that are contiguous to a courtyard shall count toward the courtyard’s minimum dimension and area. Parking areas, required setbacks, and driveways do not qualify as part of a common courtyard.

C. Community Buildings. Cottage cluster projects may include community buildings for the shared use of residents that provide space for accessory uses such as community meeting rooms, guest housing, exercise rooms, day care, or

58
Figure 1. Cottage Cluster Orientation and Common Courtyard Standards

community eating areas. Community buildings must meet the following standards:

1. Each cottage cluster is permitted one community building, which shall count towards the maximum average floor area, pursuant to section 4.

2. A community building that meets the development code’s definition of a dwelling unit must meet the maximum 900 square foot footprint limitation that applies to cottages, unless a covenant is recorded against the property stating that the structure is not a legal dwelling unit and will not be used as a primary dwelling.

D. Pedestrian Access.

1. An accessible pedestrian path must be provided that connects the main entrance of each cottage to the following:

a. The common courtyard;

b. Shared parking areas;

c. Community buildings; and

d. Sidewalks in public rights-of-way abutting the site or rights-of-way if there are no sidewalks.

2. The pedestrian path must be hard-surfaced and a minimum of four (4) feet wide.

E. Facades. Cottages must meet the architectural design standards for singlefamily detached dwellings in Section 8.0141(5).B.1 through 4.

F. Parking Design (See Figure 2).

1. Clustered parking. Off-street parking may be arranged in clusters, subject to the following standards:

a. Cottage cluster projects with fewer than 16 cottages are permitted parking clusters of not more than five (5) contiguous spaces

b. Parking clusters must be separated from other spaces by at least four (4) feet of landscaping.

c. Clustered parking areas may be covered.

2. Parking location and access.

a. Off-street parking spaces and vehicle maneuvering areas shall not be located:

i. Within 20 feet from any street property line, except alley property lines;

ii Between a street property line and the front façade of cottages located closest to the street property line. This standard does not apply to alleys.

b. Off-street parking spaces shall not be located within 10 feet of any other property line, except alley property lines. Driveways and drive aisles are permitted within 10 feet of other property lines.

3. Screening. Landscaping, fencing, or walls at least three feet tall shall separate clustered parking areas and parking structures from common courtyards and public streets.

4. Garages and carports.

a. Garages and carports (whether shared or individual) must not abut common courtyards.

b. Individual attached garages up to 200 square feet shall be exempted from the calculation of maximum building footprint for cottages.

c. Individual detached garages must not exceed 400 square feet in floor area.

CHAPTER 8 DEVELOPMENT REGULATIONS 59

CHAPTER 8 DEVELOPMENT REGULATIONS

d. Garage doors for attached and detached individual garages must not exceed 20 feet in width

G. Accessory Structures. Accessory structures must not exceed 400 square feet in floor area.

H. Existing Structures. On a lot or parcel to be used for a cottage cluster project, an existing single-family detached dwelling on the same lot at the time of proposed development of the cottage cluster may remain within the cottage cluster project area under the following conditions:

1. The existing dwelling may be non-conforming with respect to the requirements of this code.

2. The existing dwelling may be expanded up to a maximum height of 25 feet or the maximum building footprint of 900 square feet; however, existing dwellings that exceed the maximum height and/or footprint of this code may not be expanded.

3. The floor area of the existing dwelling shall not count towards the maximum average floor area of a cottage cluster.

4. The existing dwelling shall be excluded from the calculation of orientation toward the common courtyard, per subsection (6)(A).

60

[Section

[Section

CHAPTER 8 DEVELOPMENT REGULATIONS 61
Figure 2. Cottage Cluster Parking Design Standards 8.0143 added by Ord. #2022-04 passed June 28, 2022] 8.0143 amended by Ord. #2022-09 passed December 13, 2022]

COMMERCIAL USE AND INDUSTRIAL USE ZONES

8.0150 Strip-Service Commercial C-1 Zone.

8.0155 Central Business District Commercial (CBD) C-2 Zone.

8.0160 Special-Service Commercial C-3 Zone.

8.0165 Limited Service Commercial C-4 Zone.

8.0166 Limited Service Commercial C-4A Zone: Except as provided in 8.0190 and 8.0195, the standards and criteria for development in the C-4A Zone shall apply to development in the C-4A Zone.

8.0170 Tourist Commercial C-5 Zone.

8.0175 Downtown Overlay District. In the Downtown Overlay District, the following regulations shall apply:

1. Purpose. The purpose of the Downtown Overlay District is to promote and sustain:

A. Economic Growth - Assure opportunities for a stable, vital, diverse, and competitive economy in the heart of the city.

B. Vibrant Downtown - Strengthen downtown as a vibrant, mixed-use district that draws a wide spectrum of residents and visitors.

C. Downtown Appearance - Improve and enhance the appearance of the built environment and natural features throughout downtown, especially along primary commercial corridors, and other major arterials.

D. Historic Character - Preserve and retain historic structures and cultural resources throughout downtown.

E. Pedestrian Environment - Improve and enhance the pedestrian environment throughout downtown, as well as the pedestrian connections to surrounding neighborhoods and civic resources.

2. Intent. The intent of the Downtown Overlay District is to:

A. Encourage a vibrant mix of pedestrian-oriented uses, including residential, shopping and entertainment uses;

B. Increase the density and intensity of development;

C. Establish height, bulk, and lot coverage regulations that balance existing urban fabric with a desired character for downtown;

D. Promote active ground floors by regulating the quantity and location of doors and windows;

E. Establish standards for setbacks and landscaping that encourage and promote a strong pedestrian environment.

F. Establish parking and access standards that support pedestrian activity.

3. Uses Permitted (Please see 8.0190 Table C)

4. Development Standards. In the Downtown Overlay District, the following dimensional standards shall apply:

A. Minimum Building Setback: Two (2) feet. Surface treatment needs to be of similar nature as adjoining sidewalk.

B. Maximum Building Setback: Ten (10) feet. Surface treatment beyond two feet from the sidewalk needs to be landscaped or treated with decorative pavers. Asphalt is prohibited. For full-block developments, a minimum of 50% of the primary street-facing building façade must be located at the minimum two (2) feet setback as described in 4.A.

C. Minimum Landscaped Area: No minimum landscaping requirement.

D. Ground Floor Windows: Ground floor windows must be at least 50% of the building length and 50% of the street-facing façade to a minimum height of 10’-0”

CHAPTER 8 DEVELOPMENT REGULATIONS 62

above finished right-of-way. If the site has two or more frontages, the Ground Floor Window standards is only required on the primary façade. The other façade has a minimum requirement of 50% of the building length and 25% of the ground floor wall area. Windows are required to be transparent.

Please note: Ground floor wall area is defined as all wall areas up to ten (10) feet above the finished grade.

Ground Floor Windows – Residential Use: 25% of the ground floor wall area must be transparent.

E. Main Entrance: The front door to all buildings must be oriented to the primary street. In the event that a building is located on the corner, the front door should be oriented directly to the corner or located within fifty (50) feet of the corner of the primary street.

F. Pedestrian Connection from Front Door to the Street: Create a straight-line connection from the front door to the primary street sidewalks.

G. Exterior Display and Storage: Permanent storage between the building and the street is prohibited.

H. Screening HVAC Equipment: Screen rooftop mechanical equipment through extended parapets or other roof forms that are integrated into the overall composition of the building. Screen ground floor mechanical equipment. Renewable energy generation devices may be exempt from screening, subject to site and design review by a hearings body.

I. Parking and Access: Parking between the building and the primary street is prohibited.

5. Building Height. The intent of the building height standards is to set guidelines to assist the development in the downtown core that increase economic activity, capital value and encourage investment in the downtown core. The following guidelines provide performance standards that encourage innovative design and development techniques within specific parameters. They are generally prioritized to include the following: Compatibility with existing downtown buildings and surrounding residential neighborhoods; Human scale related to building design, including height and massing, and its impact on solar access and views; Multi-story and mixed-use buildings for increased density and diversified use on premium land in the urban core; Development incentives for increased height, based on Performance Bonuses.

A. Maximum Height: The maximum height allowed for the downtown overlay district for all structures that are not within one full city block of a residential zone and west of SW 5th Street is sixty (60) feet, and east of SW 5th Street is 75 feet. The maximum height of structures east of 5th Street may be increased if a Conditional Use Permit for the structure is approved by a Hearings Body. The following standards shall apply to structures in the Downtown Overlay District.

1. Street Wall Height: Maximum street wall façade height for the downtown overlay district for all structures that are not within one full city block of a residential zone is forty-five (45) feet.

2. Upper-floor Setback: Buildings taller than forty-five (45) feet must step back upper stories by at least 10 feet measured from the façade of the street wall facing the street, public park, or open space.

3. Residential Buffer Zone: All buildings in the Downtown Overlay District within one full city block adjacent to a residential zone shall be considered to be part of the Residential Buffer Zone, wherein the following height

CHAPTER 8 DEVELOPMENT REGULATIONS 63

standards apply:

a Maximum Height: The maximum height allowed for all structures within the Residential Zone Buffer is fifty (50) feet.

b. Street Wall Height: Maximum street wall façade height for structures within the Residential Zone Buffer is thirty-five (35) feet.

c. Upper Floor Setback Requirements: Buildings taller than thirtyfive (35) feet must step back upper stories by at least 10 feet measured from the façade of the street wall facing the street, alleyway, public park, or open space.

B. Architectural Standards for Buildings Taller Than 45 Feet: In addition to the existing Site and Design Review criteria and Downtown Overlay District Design Standards, the following architectural standards will apply to all buildings taller than forty-five (45) feet.

1. On upper floors use windows and/or architectural features that provide interest on all four sides of the building when permitted within the building code.

2. Abrupt changes in building heights and/or roof orientation should be diminished by offsets of building form and mass.

3. Use recesses and projections to visually divide building surfaces into smaller scale elements.

4. Use color to visually reduce the size, bulk, and scale of the building.

5. Buildings sixty feet or over shall provide rooflines with articulated features.

6. Location of back flow prevention devices and the fire sprinkler riser must be identified on project plans submitted for site and design review and shall be located inside the building.

C. Buildings within the Downtown Overlay District shall only be permitted to exceed 75 feet if they comply with the standards set forth below

1. Performance Bonus: Additional building height above 75 feet may be approved if the project achieves a minimum of twelve (12) points from the following:

Affordable Housing: The project provides affordable housing, per City standards, for low- and moderate-income households, as a percentage of the total number of residential units built. 3 points for 10%, 4 points for 15%, and 5 points for 20% of total number of residential units built for affordable housing

Workforce Housing: The project provides workforce housing, per City standards. 1 point for 10%, and 2 points for 20% of total number of residential uses built for workforce housing.

Public Plaza: The project incorporates a public plaza which is at least 5% of the gross site area. The plaza shall be on the street side of the building, and open and free to the public at all times and shall remain for a period of at least ten years. 1 point per 5% public plaza space, with a maximum of 4 points.

Public Art: 0.5% of the overall project budget is set aside for an on-site public art project that shall remain for the life of the building, or 1.0% of the overall project budget is provided to the City for off-site public art shall be awarded 2 points. Increasing these percentages to 0.75 % and 1.5% respectively increases the number of points awarded to 3. Increasing these percentages to

3 - 5 pts.

1 – 2 pts.

2

1 - 4 pts.

1

2 - 4 pts.

2

8 DEVELOPMENT
64
CHAPTER
REGULATIONS
3

1.0% and 2.0 % respectively increases the points awarded to 4.

View Access and Preservation: The project provides a public viewing deck or decks, or similar features, which are at least 5% of the gross site area. The viewing deck(s) should be located at least sixty (60) feet above ground level and provide significant free public access to views of surrounding Central Oregon features, such as the Cascade Mountains and Smith Rocks, and shall remain for a period of at least ten years.

Economic Vitality: The project provides additional economic benefit to the City by providing retail sales and/or hospitality uses on multiple levels. Total floor area dedicated to entertainment, eating and drinking, retail services, and service commercial uses as presented in Section 8.0190, Table C of the Redmond Development Code, must equal or exceed 75% of the building footprint and shall remain for a period of 5 years will be awarded 4 points. One additional point will be awarded for each additional 25% of floor area (as defined by the building footprint) for retail, entertainment or hospitality uses up to a maximum of 8 points.

Historic Preservation: The project provides for preservation or adaptive reuse of all buildings on the City’s Inventory of Historic Resources located on the project site in a manner consistent with the Secretary of the Interior’s Standards for the Treatment of Historic Resources shall be awarded 2 points. The Hearings Body may increase the points up to 4 points for projects on the National Register of Historic Places. As an alternative, 1.0% of the overall project budget is provided for a specific historic preservation project that will be completed within a specific timeframe in the City of Redmond or is provided to the Redmond Historic Commission for historic Redmond projects (not operations) shall be awarded 2 points. The provision of 2% of the overall project budget will receive 4 points.

Sustainable Building: Project is built to LEED standards, or equivalent green building practices. It will be up to the applicant to provide material supporting equivalent building practices. (Certified is awarded 2 points, Silver certification is awarded 3 points, Gold certification is awarded 4 Points, and Platinum is awarded 5 points.)

Parking: In addition to the required parking for the development, the project provides at least 7 on-site parking spaces for public use between 8:00 – 6:00 PM that shall remain for the life of the building. 1 point per 7 public parking spaces, with a maximum of 5 points.

Total:

2. Building Bulk for Buildings over 60 feet in Height:

1 pt.

4 - 8 pts.

2 - 5 pts.

1 - 5 pts.

1

3 36 pts.

a. Floor Area Ratio (FAR): Buildings between sixty (60) feet and eighty-five (85) feet shall have a maximum floor area ratio of 4.0. Buildings eighty-five (85) feet and taller shall have a maximum floor area ratio of 5.0. Floor Area Ratio (FAR) is a method of

CHAPTER 8 DEVELOPMENT REGULATIONS 65
1
4
2
2 - 4 pts.
2

calculating allowable floor area in a development as a means of controlling “bulk” and “massing” of larger developments, often encouraging setbacks and step backs, and progressively slender upper floors.

3. Application Requirements for Buildings Over 75 Feet: Planning applications submitted for new buildings over 75 feet tall shall include the following additional items to assist the City in the analysis and decisionmaking process.

a. Three-Dimensional Digital Model: A complete threedimensional digital model of the proposed building.

b. Solid Waste Management Plan: A solid waste management plan to show how the project meets or exceeds the City’s Solid Waste Guidelines, to the approval of the Utilities Director.

c. Utilities Infrastructure Analysis: An engineer’s evaluation of existing utilities infrastructure and recommendations to ensure that the project will have adequate water pressure for domestic use and fire flows and that the collection system in the area surrounding the project is sufficient to meet the project’s impact.

d. Emergency Services Access Plan: A written and graphic plan, created in consultation with the City’s Fire Marshal to show how access to site and upper floors for emergency response personnel will be provided.

e. Public Safety Plan: A security plan, created in consultation with the Police Department for all proposed buildings that include publicly accessible areas such as parking garages, courtyards, public stairways, elevators, and decks.

4 Height Design Departure: In addition to the availability of variances as noted in 8.0700 – 8.0720, a design departure procedure will be established to allow a project to achieve flexibility in the application of prescriptive development standards and height performance bonuses (limited to two height performance bonuses). A 20% departure may be granted administratively. In order to allow a departure from a code standard, an applicant must demonstrate that it would result in a development that better meets the intent of the purpose of the regulation and applicable design guidelines.

6. Design Standards. Any change to the exterior of a building or a property shall be reviewed by the Community Development Department pursuant to Article IV Section 8.3040 of the Redmond Development Code.

7. Off-Street Parking. In addition to the standards of 8.0505 – 8.0515, the following standards shall apply for off-street parking in the Downtown Overlay District:

A. Off-Street Parking Requirements (Number of Spaces):

1. Residential: Per State Condominium Code

2. Non-Residential: 1 parking space per 500 net square feet

3. For buildings over 75 feet in height: 1 parking space per 1000 net square feet.

B. Fee-In-Lieu of Parking: The purpose of these provisions is to allow development in the Downtown Overlay District to reduce the number of off-street parking spaces through payment of a fee in order to meet the parking requirements set forth in this Code. These provisions may be utilized for parking required for new construction or for an increase in required parking resulting from the change of use of an existing building.

CHAPTER 8 DEVELOPMENT REGULATIONS 66

Payment made to the City in-lieu of supplying the required off-street parking spaces for a project in the Downtown Overlay District may be provided as follows:

1. By the one-time payment of a non-refundable parking and mobility improvement fee to the City in the amount established in the City’s Fee Schedule, paid prior to the issuance of Certificate of Occupancy. Fees collected shall be used to fund parking, street improvements or facilities to improve mobility or enhance pedestrian connectivity and safety in the Downtown Overlay District.

2. From time to time the City shall establish the value of off-street parking facilities on a per parking space basis, used to establish the above parking and mobility improvement fee.

3. The City Engineering shall evaluate development proposals requesting to pay an in-lieu fee through conducting a Transportation System Analysis or parking study.

4. Any such request for parking in-lieu may be denied or reduced by the Community Development Director, or designee. The Director, or designee, shall determine:

a. Whether there is sufficient alternative parking within a two to fourblock radius of the project location.

b. Whether approval of the request would have an adverse effect on surrounding neighborhoods.

c. Whether the request meets the Purpose and Intent of the Downtown Overlay District Zone.

d. Compliance with the Redmond Comprehensive Plan 2040 and support plans, as amended.

[Section 8.0175 amended by Ord. #2016-17 passed January 31, 2017]

[Section 8.0175 amended by Ord. #2022-04 passed June 28, 2022]

[Section 8.0175 amended by Ord. #2022-09 passed December 13, 2022]

8.0180 Light Industrial (M-1) Zone.

8.0182 General Industrial (M-1.5) Zone.

8.0185 Heavy Industrial (M-2) Zone.

8.0186 Large Lot Industrial (LLI) Zone.

1. LLI Zone Regulations. The following standards and regulations apply in the LLI Zone:

A. The lot shall adhere to the designation as acknowledged by the Central Oregon Intergovernmental Council

B. No property that is zoned LLI can be rezoned to another zone within ten years of the LLI designation.

C. The minimum lot size is 50 acres. Division or separation of lots or parcels within the site to new lots or parcels less than the minimum lot size is not allowed until the site is developed with a primary traded sector use requiring a large lot.

D. Allowed uses are traded sector uses as provided in Section 2.

E. Uses allowed to support a primary user included:

1. Subordinate industrial uses that rely upon and support the primary traded sector use;

2. Service commercial uses that support the traded sector uses if they are limited to 7500 square feet per use; and

CHAPTER 8 DEVELOPMENT REGULATIONS 67

3. Retail uses accessory to a traded sector use and limited to 7500 square feet

F. Conceptual Phased Site Development Plan. A Conceptual Phased Site Development Plan is required for each primary traded-sector use as part of the Site and Design Review process in addition to the criteria and requirements outlined in Article IV of this code. In addition to the requirements outlined in Section 8.3025, the following elements shall be considered as part of the Conceptual Phased Site Development Plan:

1. Open Space. Generally identify land provided for open space on the site.

2. Connectivity and Trail Networks. A conceptual transportation plan for streets, pedestrians connectivity and trail networks. E.g., Connection of bicycle routes and pedestrian network for utility and recreational purposes.

3. Site Design. Describe how the design elements (i.e., streets, open spaces, signage, and architecture) are integrated and coordinated throughout the site.

4. Analysis of Anticipated Utility Consumption by Phase. Analysis of the anticipated utility consumption by phase for wastewater, water, power, natural gas, and other utility infrastructure necessary to support the development.

2. LLI Zone Uses Permitted. The following uses are allowed outright or conditionally in the Large Lot Industrial Zone:

Land Use: Zone: RESTRICTIONS AND REQUIREMENTS:

Traded-Sector Usage

O Per ORS 285B.280, traded sector means industries in which member firms sell their goods or services into markets for which national or international competition exists, as well as uses and services that directly benefit traded sector uses. Allowed uses include manufacturing, processing plants, distribution center, warehousing, research and development, and higher education institutions

Subordinate Industrial Uses

Service Commercial Uses

Retail Uses

O After a primary traded-sector use has been sited, subordinate industrial uses are allowed. Subordinate means industries that rely upon and support a primary traded sector use

C After a primary traded-sector use has been sited, service commercial uses are allowed that support the traded sector uses and shall be limited to 7500 square feet per structure

C After a primary traded-sector use has been sited, retail uses, and eating and drinking establishments are allowed as a conditional use and shall be limited to 7500 square feet per use in the structure.

O = Outright uses, C = Conditional Uses

3. Minimum Standards. See Table D, 8.0195.

[Section 8.0186 added by Ord. #2015-11 passed September 22, 2015]

[Section 8.0186 amended by Ord. #2022-09 passed December 13, 2022]

CHAPTER 8 DEVELOPMENT REGULATIONS 68

8.0190 Table C, Uses Permitted. The following uses identified below are allowed outright or conditionally in each of the Commercial and Industrial zones. Outright or conditional uses in the M-1.5 zone may be permitted Conditionally in the M-1 or M-2 zones; this allowance does not apply for uses Not Allowed (“N”).

69
CHAPTER 8 DEVELOPMENT REGULATIONS
“O” means Permitted Outright “C” means Permitted Conditionally “N” means Not Allowed Commercial/Industrial: C-1 C-2 C-3 C-4 C-4A C-5 M-1 M-1.5 M-2 DOD Restrictions and Requirements: Apartments N N N N N N N N N N See Multi-Family complexes. Assisted Living Facility O O O O O O N N N C Bed and Breakfast C C C C N N N N N C Boarding House O O O O C C N N N O Caretaker C N N C N C C C O N Must live on site. Condominium N N N O N N N N N O State regulated. Dairy N N N N N N N N N O Homeless Shelter O C C C N N O C N N Manufactured Home Park C N N C N N N N N N Multi-Family Complex O O O O O O N N N O* *Residential Use on ground floor restricted to <25% and shall not be in front of building. Planned Unit Development C C C C C C C C C C Residential Use above ground floor O O O O N N N N N O Residential Use on ground floor <25% N O O O N N N N N O Not in front of building. Residential Use on ground floor >25% N N N N N N N N N N Residential care facility O C O C N N N N N C Residential care home O O O O N N N N N O Single Family Detached Dwelling (including ADUs) and Duplexes on ground floor C O* C N N N N N N O* *Only permitted for those uses pre-dating the adoption of the C-2 Zone Amendments and Downtown Overlay District on August 12, 2008. Attached Single Family and triplex and quadplex above ground floor O O O O O O N N N O Resumption of a residential use O O O O O O N N N C Only as previously established. Eating and Drinking: C-1 C-2 C-3 C-4 C-4A C-5 M-1 M-1.5 M-2 DOD Restrictions and Requirements: Bakery (retail/sit-down) O O O O O* O O O O O Bar, Lounge, Tavern, Nightclub O O C O O* O O O O O Café, Restaurant (sitdown), Diner, Brew Pub O O O O O* O O O O O Deli's are listed under "retail uses." Café, Restaurant, Espresso (drivethrough) O O O O O* O O O O O Deli's are listed under "retail uses." Entertainment: C-1 C-2 C-3 C-4 C-4A C-5 M-1 M-1.5 M-2 DOD Restrictions and Requirements:
70 Amusement Park C N N N O O N N N N Arena for Indoor Sports Events O C N C O O N N N C Larger than indoor commercial recreational use. Driving Range O N N N N O N N N N Golf Course N N N N N O N N N N Indoor Commercial Recreation O O O O O O C C C O Miniature Golf, "Pitch & Putt" O N N N N O N N N N Outdoor Commercial Recreation C C N C O C N N N C Walk-in Movie Theater O O O O O O N N N O Automobile, Trucks, RV's: C-1 C-2 C-3 C-4 C-4A C-5 M-1 M-1.5 M-2 DOD Restrictions and Requirements: Auto Detailing O C N O O* N O O N C** No auto body work permitted as "detailing". **Grandfathered as a Conditional Use for existing businesses prior to August 12, 2008. Auto Painting, Auto Body Work O N N N O* N O O O N Auto Repair O C N C O* N O O O C** Defined in part by some onsite auto storage. **Grandfathered as a Conditional Use for existing businesses prior to August 12, 2008. Auto Sales (new and used); Auto Rentals C C N O N N N N N C** **Grandfathered as a Conditional Use for existing businesses prior to August 12, 2008. Auto Service O C N O O* N N N O C** Includes auto lube shops ('same day' service). **Grandfathered as a Conditional Use for existing businesses prior to August 12, 2008. Recreational Vehicle or Boat Sales and Service C N N C C N C C N N Includes motorcycles, ATVs, other recreational vehicles. Car Wash O O O O O O O O O C** Steam cleaning permitted in the industrial zones. **Grandfathered as a Conditional Use for existing businesses prior to August 12, 2008. Gas Stations Including Card Lock O O N O O O O O O C** **Grandfathered as a Conditional Use for existing businesses prior to August 12, 2008. Tire Sales and Service O O N O O N N N N N Truck Stop O N N N O N O O O N Truck Terminal N N N N N N O O O N Automobile and Recreational Vehicle Storage/ Towing Yard N N N N N N C C C N Includes impound yards, auto fleets. Industrially Related Uses: C-1 C-2 C-3 C-4 C-4A C-5 M-1 M-1.5 M-2 DOD Restrictions and Requirements: Aircraft/Airport Service, Parking Lot, Maintenance N N N N N N O N O N
CHAPTER 8 DEVELOPMENT REGULATIONS

CHAPTER 8 DEVELOPMENT REGULATIONS

71 Auto Wrecking, Recycling N N N N N N C C O N Bakery, Wholesale Distribution C N N N N N O O O N Batch Plants (Asphalt/Concrete) N N N N N N N C O N Commercial Manufacturing (Retail Support, Craftsmen) O O O O O O O O O O Must be fully enclosed in "C" zones that permit this use. Concrete & Concrete Products, Stone-cutting N N N N N N C C O N Distribution Center N N N N O N O O O N Dump, Landfill N N N N N N N N C N Enclosed Warehousing and Manufacturing N N N N N N O O O N Up to 50% retail allowed in Industrial Zones. Junkyard N N N N N N N N O N Auto Wrecking Yard' is a separate category Landscaping Supply (Bulk) N N N N N N O O O N Outdoor storage of bulk landscaping material. Lumber Mill N N N N N N N C O N Manufacturing (Heavy Industrial) N N N N N N N C O N Manufacturing (Light Industrial) N N N N N N O O O N Subject to DEQ requirements and neighborhood compatibility. Medical Research Facility O O O O O O O O O O Excludes research using biohazardous material. Precision Machine Shop C N N C N N O O O N Must be fully enclosed in "C" zones that permit this use. Retail Uses in support of primary Industrial Use N N N N N N O O O N Must be less than 50% of the gross floor area. Rock Crushing/Recycling N N N N N N C C O N Slaughterhouse N N N N N N N N O N Tanning, Curing, Storing of Hides N N N N N N N C O N Wholesale Printing and Distribution N N N N N N O O O N Wood Product Manufacturing and Assembly N N N N N N O O O N Offices and Office Products: C-1 C-2 C-3 C-4 C-4A C-5 M-1 M-1.5 M-2 DOD Restrictions and Requirements: Office O O O O O O C C N O Office Service and Supplies O O O O O* O N C N O Offices related to Industrial Use N N N N N N O O O N Printing, Publishing O O O O O O O O N O Telemarketing, Call Center O O O O O O C C N N Public and Semi Public Uses: C-1 C-2 C-3 C-4 C-4A C-5 M-1 M-1.5 M-2 DOD Restrictions and Requirements: Agricultural Uses N N N N N N N N N N Churches, Religious Institutions C C C C C C C C N C Convention Center O O N O N O N N N O Hospital N N O N N N N N N N

CHAPTER 8 DEVELOPMENT REGULATIONS

72 Lodge, Club, Non-profit/frat. Org C C C C C C C C N C Park, Public or Private O O O O O O O O O O Parking Garage, Public or Private O O O O O O O O O O Public Transportation Station O O O O O O O O O O RV Park, Public or Private C N N C N C C C N N Refer to 8.0615(14) Police or Fire Station: Public Safety or Emergency Services O O O O O O O C C C Schools, Public or Private C C C C C C C C N C City Owned Utility or Public Facility O O O O O O O O O O Retail Uses: C-1 C-2 C-3 C-4 C-4A C-5 M-1 M-1.5 M-2 DOD Restrictions and Requirements: Bicycle Sales and Service O O N O O* O N O N O Bulky Retail (including furniture) O O N O O O N O N O Excludes equipment and heavy equipment. Contractor Supplies (enclosed) O O N O O N O O O O Also called Building Supplies (nonlandscaping). Contractor Supplies (outdoors) O C N C O N N O N C Delicatessen O O O O O* O C C N O Drug Store, Pharmacy O O O O O* O N O N O Equipment Sales, Service & Rental O O N O O N N O N C Excludes Heavy Equipment Sales and Service. Florist O O O O O* O N O N O Gallery, Studio O O N O O O N O N O General Retail O O N O O* O N N N O Gift/Card Shop O O O O O* O N N N O Grocery Store, Market O O N O O** O N N N O Hardware Store O O N O O* O N C N O Heavy Equipment Sales O N N N N N O C O N Only permitted w/ primary service use in M Zone. Heavy Equipment Service O N N N N N O C O N Heavy Equipment Storage (outdoor) N N N N N N N C O N Medical Supplies (Retail) O O O O O N N C N O Mobile/Manufactured Home Sales & Service O N N C N N N N N N Novelty, Specialty, Variety Store O O C O O* O N N N O Includes music, art supply, electronic equipment, sporting goods. Outdoor Merchandise Display, Other O C N O O N N C N C Non storage related; for retail sales. Pet Shop O O N O O O N N N O Plant Nursery O N N O O O N C N N Thrift Store-1 O O O O N O N N N O Service Commercial Uses: C-1 C-2 C-3 C-4 C-4A C-5 M-1 M-1.5 M-2 DOD Restrictions and Requirements:

CHAPTER 8 DEVELOPMENT REGULATIONS

[Section 8.0190 amended by Ord. #2012-10 passed August 14, 2012]

[Section 8.0190 amended by Ord. #2015-04 passed May 19, 2015]

[Section 8.0190 amended by Ord. #2016-17 passed January 31, 2017]

[Section 8.0190 amended by Ord. #2017-12 passed December 12, 2017]

[Section 8.0190 amended by Ord. #2018-09 passed September 11, 2018]

[Section 8.0190 amended by Ord. #2020-15 passed November 10, 2020]

[Section 8.0190 amended by Ord. #2022-04 passed June 28, 2022]

[Section 8.0190 amended by Ord. #2022-09 passed December 13, 2022]

73 Appliance and Computer Repair O O N O O* N N N N O Includes stereos, electronic equipment, residential appliances. Bank, Financial Institution O O N O O C N N N O Beauty & Barber Shops & Salons (Including spas) O O O O O* O N N N O Contractor Service O N N O O N O O O N Enclosed within a building (except in M-2 zone); includes equipment rentals and sales. Contractor's Yard C N N N N N C O O N Includes outdoor storage of equipment and building supplies. Child Care Facility O O O O O O C C N O If a facility is part of an industrial development and within the manufacturing structure, a conditional use permit is not required. Dry Cleaner (drop-off only) O O N O O* O N C N O Dry Cleaner (full service) O C N C O* N N C N C Kennel C N N C N N O C O N Laundromat O O N O O O N C N O Mini Storage C N N C N N C C N N See Section 8.0615(17). Mortuary, Funeral Home O O O N N O N C N O Motel, Hotel O O C O O O C N N O Printing and Copying Store O O N O O* O N C N O Veterinarian Services O O O O O O O C O C Fully enclosed in C zones; no outdoor kennels.
O* Maximum size = 10,000 square feet O** Maximum size = 20,000 square feet

CHAPTER 8 DEVELOPMENT REGULATIONS

8.0195 Table D, Minimum Standards. The following minimum standards are required in each of the Commercial and Industrial zones as follows (all distances are measured in feet):

* The minimum lot size shall be determined based on demonstration of the ability to develop the site in accordance with the zone standards, offstreet parking standards, Site & Design Review Standards, landscaping requirements and other applicable Development Code provisions without adverse impact to water and land resource quality and adjoining properties.

* Residential uses permitted in Commercial zones shall be subject to the density standards for the R-5 zone, except for the C-2, C-3 zone and Downtown Overlay District, for which there is no maximum density standard.

A A rear yard abutting an alley shall be 25 feet from the property line to foundation when the alley is used to service the commercial establishment and 10 feet in other cases.

B Maximum building height is limited to 45 feet for all structures within one full city block of a residential zone. Where allowed buildings over 45 feet shall conform the Upper Floor Setback Standards in the Downtown Overlay Zone Site and Design Standards in Section 8.0175(5).

C Rear yards along the north side of Highland Avenue/Highway 126 between SW 23rd and SW 27th Streets shall have a minimum arterial setback of 25 feet. All other rear setbacks adjacent to arterials shall be 50 feet.

D The minimum setback between a structure and an existing use in the C-5 zone shall be 5 feet from the property line and 10 feet from any adjacent structure on the subject site or adjacent property.

74
C-1 C-2 C-3 C-4 C-4A C-5 M-1 & M-1.5 M-2 LLI DOD Minimum Yard Setbacks Front Local Street 10 H 5 10 10 10 10 10 10 10 H 2 Collector 25 25 25 25 25 25 25 25 Arterial 50 50 50 50 50 50 50 50 Interior Side Standard D 5 F 10-15 F 1015 10-15 Adjacent to R-Zone 25 25 25 25 Street Side Local Street 10 10 10 10 50 10 10 10 Collector 25 25 25 25 50 25 25 25 Arterial 50 25 50 50 50 50 50 50 Rear Interior D 5 10 10 10 Local Street 10 10 10 10 50 10 10 10 Collector 25 25 25 25 50 25 25 25 Arterial 50 25 C 25/50 25 50 50 50 50 Adjacent to R-Zone 25 25 25 25 50 Adjacent to alley A 10/25 A 10/25 A 10/25 A 10/25 Maximum Front Yard Setback I 15 I 10 Maximum Building Height 60 B 50/60 60 60 60 60 60 60 60 G 50/60/75 Minimum Street Frontage Standard Street 50 50 50 50 50 50 50 50 50 Cul-de-sac 30 30 30 30 30 30 30 30 30 Minimum Landscaping 15% J 15% 15% 15% 15% 15% 15% 15% 15% 0% Minimum Lot Size* 200 acres for 1st Lot. 50 acres

CHAPTER 8 DEVELOPMENT REGULATIONS

E No use located in an industrial zone adjacent to or across the street from a residential zone shall exceed 60% of the lot area including buildings, storage or facilities, and off-street parking and loading. Most of the landscaping required on industrial lots that abut residential zones is permitted in between the industrial use / residential uses.

F The minimum side yard in an industrial zone shall be 10 feet for 1 and 2 story buildings and 15 feet for 3 story buildings.

G Maximum building height is limited to 50 feet for all structures within one full city block of a residential zone. Where allowed, buildings over 50 feet shall conform the Downtown Overlay District Site and Design Standards in Section 8.0175(5). The maximum building height for structures west of SW 5th Street is 60 feet. The maximum building height for structures east of 5th Street is 75 feet and may be increased above 75 feet if a Conditional Use Permit for the structure is approved by a Hearings and Review Authority.

H Existing zero-lot line structures as of August 12, 2008, shall be exempt from this standard. At the time the front façade of a building or a building is demolished as defined by this Code, then the building shall comply with this standard unless a variance is approved.

I Full block developments require a minimum of 50 percent of the building façade to be developed to the minimum setback Asphalt is prohibited in the front yard setback (concrete, pavers, landscaping are allowed).

J May be met through walkways, play areas, plazas, pocket parks, and picnic areas.

[Section 8.0195 amended by Ord. #2012-10 passed August 14, 2012]

[Section 8.0195 amended by Ord. #2014-12 passed May 27, 2014]

[Section 8.0195 amended by Ord. #2015-11 passed September 22, 2015]

[Section 8.0195 amended by Ord. #2018-09 passed September 11, 2018]

[Section 8.0195 amended by Ord. #2020-15 passed November 10, 2020]

[Section 8.0195 amended by Ord. #2022-04 passed June 28, 2022]

75

CHAPTER 8 DEVELOPMENT REGULATIONS

OTHER ZONES

8.0200 Fairgrounds FG Zone.

8.0205 Park Reserve Open Space (OSPR) Zone.

8.0210 Public Facility PF Zone.

8.0215 Park Zone.

8.0220 Table E, Permitted Uses. The following land uses are permitted outright or conditionally in each respective zone:

76
“O” means
Outright “C” means Permitted Conditionally “N” mean Not Allowed LAND USE: ZONE Comment: Residential FG OSPR PF Park Airport Homeless Shelter O O* C N N Single Family Dwelling O C N N N In conjunction with a use permitted by this section, a caretaker
or in OSPR with approved density transfer. Farm Uses: Grazing of livestock and horses N O N N N Production of crops N O O N N Livestock stabling O N N N N Other Farm Uses N C N N N Non-Residential Uses: Public or Private Schools C N C N N Parks, trails, reserve areas O O O O N Public Facilities including cemetery N O/C O/C O/C N Outright only when approved in the Comp Plan or Other Public Facilities Plan for OSPR and Park Zones. Conditional use if adjacent to “R” zone (applies to the PF zone only) Public Safety, Emergency Services, Training Coordination Facilities O C O C C Expo Center Arenas O N N N N Plaza, Amphitheater for Outdoor Events O C O O N Campground for use during Events O N N N N Recreational and Sports Facilities O C O O N In the Public Facility Zone, recreation facilities shall be in public ownership. Museum, Theater, Community Center O C O/C C O In
Permitted
residence
the Public Facility Zone, outright uses for public and non-profit agencies. Conditional use permits are required for commercial uses exceeding six (6) consecutive months or six (6) months within the same calendar year.

CHAPTER 8 DEVELOPMENT REGULATIONS

• Eastside OSPR location only (former Juniper Golf Course)

[Section 8.0220 amended by Ord. #2009-04 passed April 28, 2009]

[Section 8.0220 amended by Ord. #2015-04 passed May 19, 2015]

[Section 8.0220 amended by Ord. #2016-17 passed January 31, 2017]

[Section 8.0220 amended by Ord. #2018-09 passed September 11, 2018]

[Section 8.0220 amended by Ord. #2020-15 passed November 10, 2020]

[Section 8.0220 amended by Ord. #2022-04 passed June 28, 2022]

8.0225 Table F, Minimum Standards. The following minimum standards are required in each respective zone (all distances are measured in feet):

77 Commercial Use: Accessory to Permitted Use O O O O O
Public Facility
50%
building
lot area,
Commercial use subject to a Temporary Use Permit. RV Park O N N N N Airport Airfields O General Aviation O Passenger Terminal Complexes O Air Cargo & Maintenance Facilities O Support Facilities (Air life, Fire, etc.) O Any use complimentary to aviation O
In the
Zone, commercial uses are limited to no more than
of the total floor area,
footprint or
whichever is most restrictive.
Minimum Setbacks/Yards Feet: FG OSPR PF Park Airport Front 10 10 10 10 10 Local Street 35 40 25 25 25 Collector 50 40 50 50 50 Arterial Interior Side Standard 10 20 F 10-15 F 10-15 F 10-15 Adjacent to R-Zone 25 25 25 Street Size Local Street 10 25 10 10 10 Collector 25 25 25 25 25 Arterial 50 50 50 50 50 Rear Interior 10 20 10 10 10 Local Street 10 25 10 10 10 Collector 25 25 25 25 25 Arterial 50 50 50 50 50 Adjacent to R-Zone 25 25 25 25 25

*The minimum lot size shall be determined based on demonstration of the ability to develop the site in accordance with the zone standards, off-street parking standards, Site & Design Review Standards, landscaping requirements and other applicable Development Code provisions without adverse impact to water and land resource quality and adjoining properties.

A Unless applicant provides written documentation from the Fire Department that the structure will not exceed the capability of available fire-fighting equipment. The maximum building height for all structures in the Airport Zone is 60 feet. If the structure is within 200 feet of the airfield security/perimeter fence, the maximum building height for all structures is 45 feet. No building permit will be issued in the Airport Zone until the FAA Form 7460-1 is received by the City of Redmond from the FAA. See the Airport Control Zone (RDC 8.0230) for additional building height restrictions.

B Except for annual fair, any activity of use anticipated to generate 500 or more pm peak traffic trips shall not be permitted unless approved by the City in conjunction with traffic impacts mitigation including but not limited to alternate transportation routes to serve the use, and/or provision of ODOT and City approved temporary traffic control.

E No use adjacent to or across the street from a residential zone shall exceed 75% of the lot area including buildings, storage, or facilities.

F The minimum side yard shall be 10 feet for 1 and 2 story buildings and 15 feet for 3 story buildings.

[Section 8.0225 amended by Ord. #2009-04 passed April 28, 2009]

[Section 8.0225 amended by Ord. #2020-15 passed November 10, 2020]

8.0230 Special Use Zone - Airport Control AC Zone.

[Section 8.0230 deleted by Ord. #2020-15 passed November 10, 2020]

8.0235 Airport Compatibility Zone. In an Airport Compatibility Zone, the following regulations shall apply:

1. Purpose. The purpose of the Airport Compatibility Zone is:

A. To protect the airport from encroachment of incompatible, non-airport and nonaviation uses.

B. Implement the Airport Master Plan, including limitations on air intrusion as noted on the Airport Control Map.

2. Uses Permitted Outright. In an Airport Compatibility Zone, the following uses and accessory uses are permitted subject to the provisions of subsection (4) of this section:

A. Airfields

B. General Aviation Facilities

C. Passenger Terminal Complexes

D. Air Cargo/Airline Maintenance Facilities

E. Support Facilities including Aircraft Rescue and Firefighting (ARFF) facilities

F. Any compatible use which compliments aviation uses.

3. Limitations on Use.

A. All uses must meet local, state, and federal environmental standards relating to noise, smoke, odor, water, sewage, air emissions, dust, and hazardous waste.

78 Maximum Building Height - Feet A 60 25 60 40 A 60/45 Minimum Street Frontage - Feet Standard Street 50 50 50 50 50 Cul-de-sac 30 30 30 30 30 Minimum Landscaping 15% 15% 15% 15% 15% Lot Coverage Maximum Non-Commercial Use Use Adjacent to Residential E 75% Minimum Lot Size/Other B* N/A* N/A* N/A* N/A*
CHAPTER 8 DEVELOPMENT REGULATIONS

B. Materials shall be stored, and grounds shall be maintained in a manner which will not attract or aid the propagation of insects or rodents or otherwise create a health hazard.

C. All parking and loading demand created by any use permitted by this section shall be accommodated on the subject premises entirely off-street.

D. No use permitted by this section shall require the backing of traffic onto a public street or road right-of-way for access to any use on the premises thereof.

4. Dimensional Standards. In an Airport Zone, the following dimensional standards shall apply:

A. The minimum lot size shall be determined in accordance with the provisions of this section relative to setback requirements, off-street parking and loading, and as deemed necessary by the Hearings Body to maintain air, water, and land resource quality and to protect adjoining and area land uses.

B. The minimum building setback between a structure and an arterial street shall be 50 feet unless a greater setback is required for compliance with the Comprehensive Plan policies or criteria, and 25 feet from a collector.

C. The right-of-way between the property line and the edge of the improved street shall be landscaped and maintained by the contiguous property owner in accordance with the provisions of the Site and Design Review Standards.

5. Yards. Except as provided by Sections 8.0550-8.0575, in an Airport Compatibility Zone, the minimum side yard shall be 10 feet from the foundation for one and two story buildings and 15 feet from the foundation for three story buildings; and front and rear yards shall be a minimum of 10 feet or as approved by the Hearings Body.

6. Height of Buildings. In an Airport Compatibility Zone, all building shall meet the requirements set forth in the Airport Control (AC) zone map

7. Off-Street Parking and Loading. In an Airport Zone, off-street parking and loading.

[Section 8.0235 amended by Ord. #2020-15 passed November 10, 2020]

CHAPTER 8 DEVELOPMENT REGULATIONS 79

MIXED-USE ZONES

8.0250 Mixed-Use Neighborhood MUN Zone.

[Section 8.0250 added by Ord. #2009-03 passed May 26, 2009]

8.0255 Mixed-Use Employment MUE Zone.

[Section 8.0255 added by Ord. #2009-14 passed December 8, 2009]

8.0256 Mixed Use Live/Work Zone (MULW). In a MULW Zone, the following restrictions shall apply:

1. Purpose. The purpose of the MULW zone is to:

A. Provide a mixed-use area that is appropriate for development which may include both living units and workspace;

B. Provide flexibility for the development of live/work units; and,

C. Provide locations, where appropriate, for new businesses to start up and existing businesses to continue and potentially expand.

2. Intent of the Live/Work unit The Live/Work unit is a combined form of living unit which can provide the necessities and comforts of home and provide a business venue for a source of income to promote the success of the owner and the surrounding area. To the extent that they include new construction, the new construction shall be well-designed, architecturally interesting, and made of quality products.

[Section 8.0256 added by Ord. #2011-09 passed November 8, 2011]

[Section 8.0256 amended by Ord. #2020-15 passed November 10, 2020]

80
CHAPTER 8 DEVELOPMENT REGULATIONS

8.0260 Table G, Uses Permitted. The following land uses are permitted outright or conditionally in each respective Zone as follows:

“O” means Permitted Outright

“C” means Permitted Conditionally

“N” means Not Allowed

CHAPTER 8 DEVELOPMENT REGULATIONS 81
Standard MUN MUE Reference/Standards: Residential Uses:** All stand-alone residential uses listed in Table G may not occupy more than 20% of the net land area on the subject property zoned MUN. Assisted Living Facility O O Bed and Breakfast C N Multi-Family Complex (5+ units) O O See RDC Section 8.3035, Design Review Criteria Residential use above ground flood (mixeduse unit) O O Live/Work Dwelling O O See definitions of live/work houses, townhouses and apartments, and standards in RDC Section 8.3035, Design Review Criteria. Residential Care Facility C C Townhouse O O See Section 8.0142, Townhouse Development and Design Standards Eating and Drinking: Bakery (retail/sit-down) O O Bar/tavern (where food is also served), Brew Pub O O Café, sit-down restaurant, diner O O Entertainment: Indoor commercial recreation O O See building area restrictions in Table H, Minimum Standards Walk-in movie theater C O Automobiles/Trucks/RV Uses: Gas stations C C Auto services C C Includes auto lube shops (same day service) Industrial Uses: Light Industrial Uses including manufacturing, fabrication, and assembly C O Includes “craftsman” such as glassblowing, etc. Medical Research Facility O O Precision machine shop N O Retail uses in support of primary industrial use O O Office and Office Products: Office O O Includes medical offices and professional services Corporate Headquarters O O Less than 50,000 sq ft foot print Office service and supplies O O Printing, publishing O O

CHAPTER 8 DEVELOPMENT REGULATIONS

part of an approved use (facilities must include an inside use component such as seating or a service area, except for voting drop offs and postal drop boxes)

** Any residential use is prohibited within 1 mile of the Redmond Airport Runway Protection Zone.

*** In the MUE zone, commercial uses must be of a type and scale that is designed to support surrounding industrial, and employment uses and may not be used for commercial development that serves a primarily regional retail function.

82 Telemarketing, call center O/C O Outright
and
50% of total floor
in the MUN zone. Public and Semi Public Uses: Churches, religious institutions C C Lodge, club, non-profit/ fraternal organization C C Park (public or private) O O Public transportation station or public utility facility O O See definitions. Schools (public or private) C C Recreation Facility (public or private) O O Private utility facility C C Commercial Uses: Child Care Facilities C C Retail Uses O/C C*** In the MUN zone, single retail
are permitted outright up to 25,000 square feet in floor area; single retail
between 25,000 and 40,000 square feet in floor area require a Conditional Use Permit. Services Commercial Uses O O Veterinarian Services O O Drive through / up facilities as
O O
allowed use on upper floors of a multi-story building or allowed as a conditional use on ground floor
limited to
area on ground floor
uses
uses
Standard
Existing Single-Family Residential Use prior to May 2011
Live/Work Dwelling Live/Work Dwelling
Eating and Drinking: Bakery (retail/sit-down) O Bar/tavern (where food
Brew Pub O Café, sit-down restaurant, diner O Entertainment: Indoor commercial recreation
See
H, Minimum Standards
MULW Reference/Standards:
O An ADU is permitted to accompany existing single-family detached dwelling.
O See definitions of live/work houses, townhouses and apartments, and standards in RDC Section 8.3035, Design Review Criteria.
is also served)
O
building area restrictions in Table

CHAPTER 8 DEVELOPMENT REGULATIONS

83 Automobiles: Gas stations C Auto service and repair C Includes auto lube shops (same day service) Industrial Uses: Light Industrial Uses including manufacturing, fabrication, and assembly O Includes “craftsman” such as glassblowing, etc. Office O Distribution Center O Wholesaler O Precision machine shop O Research and development facility O Contractor Service and Supply O Retail associated with this use is limited to 5,000 square feet. Shop or studio (including woodworking and other artisans) O Warehousing and manufacturing O Office-Type Uses: Office service and supplies N Includes medical offices and professional services Printing, publishing O Telemarketing, call center O Public and Semi Public Uses: Churches, religious institutions C Lodge, club, non-profit/ fraternal organization C Park (public or private) O Public transportation station or public utility facility O See definitions. Schools (public or private) O Recreation Facility (public or private) O Private utility facility C Commercial Uses: Child Care Facilities C Retail Uses O In the MULW zone, retail use shall be only allowed as an accessory to an outright permitted or conditional use and shall be limited to 2,500 square feet per use. Convenience Store O Limited to 2,500 square feet in size Services Commercial Uses O In the MULW zone, service commercial uses shall support the neighborhood (such as beauty and barber shops, day care, dry cleaners) and shall be limited to 2,500 square feet per use.

Drive through / up facilities as part of an approved use (facilities must include an inside use component such as seating or a service area, except for voting drop offs and postal drop boxes)

C In MULW drive through or drive up facilities shall not be located within 600 feet of any arterial or collector intersection with a state highway, within 400 feet of a local street intersection with a state highway, and not adjacent to or have access to a state highway. Otherwise, drive through or drive up facilities may be located within 100 feet of a collector or arterial street intersection and shall be separated from other drive through and drive up facilities by a minimum of 300 feet.

[Section 8.0260 added by Ord. #2009-03 passed May 26, 2009]

[Section 8.0260 amended by Ord. #2009-14 passed December 8, 2009]

[Section 8.0260 amended by Ord. #2011-09 passed November 8, 2011]

[Section 8.0260 amended by Ord. #2015-04 passed May 19, 2015]

[Section 8.0260 amended by Ord. #2020-15 passed November 10, 2020]

[Section 8.0260 amended by Ord. #2022-04 passed June 28, 2022]

[Section 8.0260 amended by Ord. #2022-09 passed December 13, 2022]

8.0261

MULW Special District Overlay.

1. The purpose of this Special District Overlay is to allow uses within a portion of the MULW Zone that exist at the time of the effective date of the adoption of this ordinance to be permitted as outright permitted uses. The Special District Overlay will allow existing uses and businesses to continue their operations in perpetuity, subject to the requirements of this Section.

2. In addition to the uses allowed in Section 8.0260, the following list of uses is allowed as permitted use for properties located in the Special District Overlay.

but is not limited to, antique stores, equestrian equipment sales and service, meat market, drive-thru food and coffee kiosk, metal products sales, landscaping supply and services.

3. Valid evidence of the presence of an existing legal use in this overlay, if required, may include the following:

A. City Business License (specific to an address in the overlay)

B Other City, County or State Licensing

C. Past advertising spaces or phone book listings

D. Photographic evidence of past use

E. Utility billing information

F. Other evidence as approved by the Community Development Director

4. Existing businesses present at the time of the effective date of this adoption of this ordinance may be permitted to expand their use up to 50% of the existing operational footprint onto adjoining properties.

5. Cessation of a business in this overlay for a period of one-year voids the special use as an existing permitted use.

CHAPTER 8 DEVELOPMENT REGULATIONS 84
Standard MULW - SD Reference/Standards Special Uses: Existing Retail Uses O Includes,
Existing Sale and Service of Recreational Vehicles O Includes motorcycles, golf carts, RVs Existing Towing Yards O Existing Auto Service and Repair O Including body shops Existing Fueling Station O

[Section 8.0261 added by Ord. #2011-09 passed November 8, 2011]

8.0265 Table H, Minimum Standards. The following minimum standards are required in each respective zone (all distances are measured in feet):

Reference/Standards:

Note: Residential uses permitted in Mixed-Use zones shall be subject to the density standards for the R-5 zone.

**Buildings shall be built to a minimum of 0 feet and a maximum of 15 feet of the front property line. A greater front yard setback may be approved through Site and Design Review if the setback area incorporates enhanced public spaces and pedestrian amenities such as plazas, arcades, outdoor cafe, benches, street furniture, public art, kiosks, or additional landscaping.

***To foster compatibility between new multi-story buildings and existing single-story dwellings, multi-story buildings and structures in Mixed Use Neighborhood (MUN) district shall “step-down” to create a building height transition to adjacent singlestory building(s) in low-density residential districts (R-1 and R-2), as provided in subsections 1-3, below:

1. This standard applies to new and vertically expanded buildings and structures in the MUN district that are within [25] feet (as measured horizontally) of an existing single-story building in low-density residential (R-1 and R-2) districts with a height of [20] feet or less, as shown in the figure below.

85
CHAPTER 8 DEVELOPMENT REGULATIONS
Standard: MUN MUE MULW and MULW-SD
Minimum Yard Setbacks Front Local Street 0 ft.** 10 ft. 10 ft. Collector 0 ft.** 15 ft. 15 ft. Arterial 0 ft.** 25 ft. 25 ft. Interior Side Standard 0 ft. 0 ft. 0 ft. Adjacent to R zone 25 ft. 25 ft. 0 ft. Street Side Local Street 0 ft. 10 ft. 10 ft. Collector 0 ft. 15 ft. 15 ft. Arterial 0 ft. 25 ft. 25 ft. Rear Interior 0 ft. 10 ft. 10 ft. Adjacent to alley 0 ft. 25 ft. 10 ft Maximum Building Height 45 ft. *** 45 ft. *** 45 ft. Minimum Street Frontage 25 ft. 25 ft. 25 ft. Minimum Landscaping 15% 15% 10% In the MUN zone, can be satisfied with street trees or shared open space Maximum Lot Coverage 80% 80% N/A Minimum Lot Size 2,500 sq. ft 6,000 sq. ft. 5,000 sq. ft. Only applies to nonresidential uses. Maximum Building Footprint Per Single Use 40,000 sq. ft. 60,000 sq. ft Only applies to nonresidential uses. Outdoor Storage Not allowed as a permanent use 80% of primary building Only permitted through site design review. Maximum size of storage area shall not exceed 40,000 square feet for any single use.

2. The transition standard is met when the height of the taller structure (“x”) does not exceed one (1) foot of height for every one (1) foot separating the two structures (“y”), as shown in the figure below

3. Exception: The provisions of subsections 1-2 do not apply when the approval body finds that the subject single-story buildings located within [25] of the subject site are redevelopable. “Redevelopable,” for the purposes of this Section, means a lot either has an assessed market value that exceeds the assessed market value of all improvements on the lot, based on the most recent data from Deschutes County Assessor’s Office; or the front yard of the subject lot is large enough that it could be subdivided based on the residential district standards

[Section 8.0265 added by Ord. #2009-03 passed May 26, 2009]

[Section 8.0265 amended by Ord. #2009-14 passed December 8, 2009]

[Section 8.0265 amended by Ord. #2011-09 passed November 8, 2011]

[Section 8.0265 amended by Ord. #2020-15 passed November 10, 2020]

86
CHAPTER 8 DEVELOPMENT REGULATIONS
Figure for Section 8.0265 Table H: Maximum Building Height StepDown/Transition

MASTER DEVELOPMENT PLANS & PLANNED UNIT DEVELOPMENTS

8.0270 Master Development Plans. A Master Development Plan is required as a condition of annexation, or after annexation, but prior to or concurrent with rezoning from Urban Holding-10 to other City zoning districts. The specific requirements for a Master Development Plan are:

1. Applicability. This section applies to properties proposed for annexation or rezoning from Urban Holding-10, except that in the event that an applicant has applied for a Planned Unit Development application prior to or concurrent with rezoning from Urban Holding-10, the Master Development Plan approval criteria shall be those used for the Planned Unit Development application and the Great Neighborhood Principles.

2. Purpose. The purpose of Master Development Plan is to provide:

A. Orderly and efficient development of the City consistent with the City of Redmond Framework Plan and adopted Area Plans.

B. Compatibility or transitions with adjacent developments and the character of the area.

C A complementary mix of uses and activities.

D. An interconnected transportation network (streets, bicycle routes, and pedestrian trails) within the master plan area and to existing and planned City streets, routes, and trails.

E. A range of housing choices and densities for areas planned to have residential components

F A range of open spaces and recreation facilities, as needed to facilitate the Framework Plan and an adopted Area Plan

G. Public and semi-public facilities and services.

H. Preservation of historic buildings, scenic views, and natural resources to the greatest extent possible

I. Transitions or buffers between urban development and rural areas.

J. Implementation of Redmond’s Comprehensive Plan, including adopted Area Plans and the Great Neighborhood Planning Principles described in 3(C)(13) below.

3. Procedures for Review

A. General. Master Development Plans (MDP or PMDP) shall be approved through a quasi-judicial review process. Application procedures and related fees for approval may be streamlined in order to promote timely development of urban planning for land zoned UH-10. The Community Development Director, or designee, shall inform the applicant during the mandatory pre-application stage if the proposed MDP area includes the necessary contiguous properties The determination for the proposed plan area shall be based on utilizing the following factors:

1. Whether there are properties that abut or are surrounded by the plan boundary that would reasonably fit within the zoning concept for the area plan;

2. Whether the extension of public services and infrastructure would be enhanced by the inclusion of abutting properties;

3. Whether the total acreage of abutting or enclave properties is less than the acreage in the proposed plan area; and

4. There is a community interest that would be served by including additional properties in the plan area.

CHAPTER 8 DEVELOPMENT REGULATIONS 87

B. Review and approval criteria for Master Development Plans (MPD) or Partial Master Development Plans (PMDP).

1. General. In the review of any application for a Master Development Plan, the Planning Commission and City Council, if required, shall consider the following:

a. Whether the proposed Plan is generally consistent with the Framework Plan, adopted Area Plan, and Comprehensive Plan in terms of land use, density, transportation systems and networks, adequacy of infrastructure and open space.

b. Whether the proposed Plan is generally suitable for the area in which it is proposed, considering existing and planned neighborhoods, shopping and employment areas, and natural resources and hazards.

c. Whether the proposed Plan is functionally integrated with developed or planned areas.

d. The proposed Plan meets the applicable Great Neighborhood Principles.

C. Master Development Plan (MDP) or Partial Master Development Plan (PMDP) Submittal Requirements and Approval Process.

An application for approval shall include the submittal requirements set forth in the City’s Land Use Review application form as well as the elements described below.

1. Narrative. A narrative shall set forth the goals and objectives of the plan and describe the urban characteristics of the planned area.

2. Neighborhood Meeting. Proof a neighborhood meeting was conducted to provide an opportunity for the applicant to meet with surrounding property owners discuss the proposal. See Section 8.0385 for meeting requirements.

3 Development Plan Map. A map of the plan area and surrounding vicinity shall indicate planned land uses for each land parcel in the area, including plans for park and open space and community facilities, if known. The plan shall show proposed comprehensive plan map designations and zoning. The plan shall include a list of all affected properties with tax lot numbers, current ownership, parcel size, and other information that is pertinent to the plan.

4 Land Use Diagram. The land use diagram shall generally indicate the distribution and location of planned land uses for the master plan area, including plans for park and open space and community facilities, if known. The plan shall show proposed comprehensive plan designations, zoning, and density.

5. Significant Resources Inventory. An inventory of significant natural resources, scenic and historic resources, and open space areas including those identified on the City’s adopted inventory and those that have the potential to qualify for protection under Redmond’s Goal 5 resource protection program. When significant resources are present, the proposed plan shall include a management plan to protect resource sites.

6. Parks and Open Space. Identify land suitable for park and recreation use in accordance with the needs analysis in the City of Redmond Park Master Plan (Park Plan) and an adopted Area Plan. In particular, where the Park Plan indicates there is a need for neighborhood or community

CHAPTER 8 DEVELOPMENT REGULATIONS 88

park, the master plan shall identify sites that may be suitable for park development using the design and location criteria from the Park Plan or an adopted Area Plan. Density transfers, SDC credits, dedication, and other value consideration may be identified in the planning process to compensate property owners for land dedicated to public use.

7. Air, Noise, and Water Resources. Review air, noise and water resources that may be impacted by planned development and address how adverse impacts will be avoided or mitigated in compliance with applicable local, state, and federal regulations. The analysis may use City public facility plans, technical studies, and policies to meet this requirement when those plans address how urban development in the plan area can be served. In these instances, the Master Development Plan must show that the envisioned land uses in the plan area are consistent with the land use assumptions in the public facility plans. This requirement is particularly important for storm water management.

8. Natural Hazard Areas. Inventory areas subject to natural hazards, particularly steep slopes, and program urban development that is suitable for the identified hazard areas

9. Residential Uses. Identify areas planned for housing development, if any, and the proposed zoning districts to be applied. The housing plan must identify a mix of housing types and densities so that the overall density in the area meets or exceeds the housing density objectives for the area that are identified in the Redmond Urban Framework Plan, adopted Area Plans, and the Comprehensive Plan. The Framework Plan and adopted Area Plans provide general guidance on housing densities that need to be achieved in order to meet future housing needs. Where proposed residential land uses differ from those shown in the Redmond Urban Framework Plan or adopted Area Plans, the master plan shall demonstrate how it meets the overall housing objectives of the Redmond Urban Framework Plan or adopted Area Plans. Applicants may propose new zoning districts when the proposed district(s) in total achieve the housing densities envisioned in the Redmond Urban Framework Plan or adopted Area Plans.

10 Employment Uses. Identify areas planned for employment use and/or mixed uses and the proposed zoning for these areas. Applicants may propose new zoning districts in cases where existing districts are not suitable for the planned development provided the proposed district(s) achieve similar land improvement values and/or employment densities envisioned in the Redmond Urban Framework Plan or adopted Area Plans.

11 Transportation Analysis and Diagram. Prepare a Transportation Impact Analysis (TIA) including a grid street plan that is consistent with street spacing and connectivity guidelines in the Redmond Transportation System Plan (TSP) and adopted Area or Framework Plans. The TIA shall identify and show:

a. The proposed classification for all streets.

b. The location of approved TSP improvement projects.

c. Any capital improvements that may need to be added to the TSP in order to serve the plan area.

d. Proposed bicycle pedestrian, and trail routes.

CHAPTER 8 DEVELOPMENT REGULATIONS 89

e Demonstrate how planned transportation facilities will connect to transportation facilities in adjacent urban areas.

12. Public Facilities Analysis and Diagram. The plan shall include a conceptual layout of public facilities, (including sanitary sewer, water, and storm drainage) needed to support the planned uses. The Public Facilities Analysis must be consistent with the city’s adopted Public Facility Plan (PFP) and related facility master plans, including improvements related to the adopted Area Plan that may require amending the PFP.

13. North Redmond US 97 Interchange Area Management Plan (IAMP) Compliance. The master plan shall comply with the following policies, if applicable:

a. Any property newly annexed within the IAMP area shall have:

i. Direct Access to a local public street other than a state highway consistent with the Local Street Connectivity Plan; and,

ii. Any property to be annexed to the City shall relinquish all direct access rights to a state highway as a condition of development approval (when a legal alternative access exists).

14 Great Neighborhood Principles. MDPs shall address applicable Great Neighborhood Principles below. In instances where the property proposed for a MDP is located within the boundary of an adopted Area Plan, the MDP shall also address the Great Neighborhood Principles according to the specificity provided in the Area Plan.

a Transportation. Connect people and places through a complete grid street network and trail system that invites walking and bicycling and provides convenient access to parks, schools, neighborhood service centers, and possible future transit stops. Traffic calming techniques and devices may be required to slow vehicles. Curved streets are encouraged to provide interest and variety in neighborhood design. Trails shall be provided to link with existing or planned pedestrian facilities

b Housing. A mix of housing unit types and densities shall be integrated into the design of new neighborhoods consistent with zone requirements unless a variance or other planning permit is approved Housing developments containing more than five attached units must be designed to be consistent with the Higher Density Multifamily Design Guidelines.

c Open spaces, greenways, recreation All new neighborhoods shall provide useable open spaces with recreation amenities that are integrated to the larger community. Central parks and plazas shall be used to create public gathering places and should be located in or near the center of the project to the extent practicable. New neighborhoods should retain and incorporate significant geological features such as rock outcroppings or stands of clustered native trees into the design and lot layout. Neighborhood and community parks shall be developed in locations consistent with the Redmond’s Parks Master Plan.

d. Integrated design elements. Streets, civic spaces, signage, and architecture shall be coordinated to establish a coherent and

CHAPTER 8 DEVELOPMENT REGULATIONS 90

distinct character for the MDP MDPs may integrate design themes with adjacent developed or planned areas.

e. Diverse mix of activities. A variety of uses are encouraged in order to create vitality and bring many activities of daily living within walking and biking distance or a short drive of homes. Amenities including, but not limited to, trails, recreation areas, and open spaces, shall be constructed before occupancy of any residential unit, unless a phasing plan is approved. Commercial service areas must be supported by a market analysis and phasing program which will be used by the City to determine construction timing.

f. Public art or artistic feature. Places for the installation of public art or artistic feature is required to provide focal points, preferably, at the gateways to neighborhoods, in and around the center of neighborhoods, or trailheads.

g. Scenic views. Identify and preserve scenic views and corridors of the Cascade Range, Ochoco Mountains, and Smith Rock, such as in street view sheds or park areas. Streets and common, or public, open spaces should be located and oriented to capture and preserve scenic views for the public. Minimize visual clutter from signs and utilities within scenic corridors.

h Urban – rural interface. Urban development shall interface with rural areas through landscaped open space buffers at least 100 feet wide and the length of the urban development, excluding public streets, or shall be transitioned from higher density development to lower density development at the urban - rural interface

i Pocket parks/tot lots. Fully developed “pocket parks” or “tot lots” shall be incorporated into medium and high density zoned residential subdivisions and site plans. These areas shall be developed for every twenty-five lots/units, a minimum of 3,000 square feet and privately maintained. Examples of amenities include: turf areas, benches, deciduous shade trees, irrigation, shrubs, natural or decorative features, and adequate trash receptable(s) and lighting

j Canal trails. If canals or laterals are present, multi-use trails at least 10 feet wide shall be provided, subject to the Central Oregon Irrigation District’s review and approval. Pedestrian amenities such as benches and trash receptacles shall be provided at appropriate locations (e.g., every 500 feet, at trailheads or intersections with public streets)

k. Green Design. Energy-efficient design through solar access setbacks, xeriscaping, and planting of drought-resistant trees to minimize water usage and provide shade.

D. Implementation. Upon approval, all subsequent development located within the MDP boundaries shall be consistent with the approval.

E. Amendment/Modification to Master Development Plan. Any modifications to the approved MDP shall be subject to the standards and procedures in Article II, “Modifications”, and subject to the review criteria contained in this section.

CHAPTER 8 DEVELOPMENT REGULATIONS 91

F Expiration of Master Development Plan. An approved MDP or PMDP shall be subject to the requirements of Section 8.1605 concerning expiration, unless a specific timeline is approved through the land use review process.

[Section 8.0270 added by Ord. #2022-04 passed June 28, 2022]

[Section 8.0270 amended by Ord. #2022-09 passed December 13, 2022]

8.0275 Planned Unit Development (PUD).

1. Purpose and Applicability. The purpose of a PUD is to:

A. Permit greater flexibility in land use regulations in all zones (e.g., reduction of minimum lot size requirements).

B. Encourage creative developments.

C. Incentivize a variety of land uses and housing types, mixed use, the economy of shared services and facilities, public amenities, and developments compatible with the surrounding area and neighborhoods.

D. Promote and encourage infill development, flexibility in improvements on lots, and affordable and workforce housing.

E. Encourage preservation of natural features and enhancement of the area vegetation

F. Facilitate sustainable design, energy efficiency, desirable aesthetics, and efficient use of open space.

Density requirements, setbacks, land use regulations, and required improvements may be adjusted to allow for a more creative, functional, and desirable living environment In return for greater flexibility in site design and development, the PUD process introduces special requirements and standards for approval.

2. Approval. PUD approval is subject to:

A. Land use review and approval as Conditional Use

B. Zoning standards, except as modified by the PUD.

C. Subdivision and Partitions Standards, except as modified by the PUD.

D. Site and Design Review Standards, except as modified by the PUD.

E. PUD Standards and Requirements.

3. Exceptions. Exceptions of City standards may be allowed through the PUD approval process without a variance

A. Exceptions shall substantially result in improved design of the PUD. Improved design includes but is not limited to: alleys; public or private parks, trails, recreational areas, open spaces, common or natural areas; innovative housing design; public or private activity areas; a mixture of housing types, sizes, and projected prices; energy efficient design; a variety of trees and landscaping; art and other similar design features. A PUD need not include all of these design features in order to be approved.

B. Exceptions to City standards include, but are not limited to:

1. Minimum lot sizes.

2. Setbacks.

3. Permitted land uses.

4. Grid street spacing standards.

5. Connecting to public utilities, subject to acceptance by City Engineer.

6. Street frontage, street and right-of-way width, sidewalk placement and

CHAPTER 8 DEVELOPMENT REGULATIONS 92

standards, subject to acceptance by City Engineer.

7. Landscaping

8. Fences and walls.

4. Standards and Requirements. The following standards and requirements apply to a PUD application:

A. PUDs must be a minimum of one (1) acre in size. In the Downtown Urban Renewal District, a minimum of a half (0.5) acre in size.

B. The applicant shall submit a written narrative that addresses the applicable standards, code, and regulations.

C. A PUD approach may be utilized in the design and development of residential, mixed use, or commercial and industrial service areas.

D. Densities. Maximum densities are identified in Table 8.0140. Additional density (i.e., bonus density) beyond the maximum density will be considered as follows:

1. Up to 20% beyond maximum densities for qualified Affordable Housing and Workforce Housing units. A bonus density request beyond 10% shall be restricted to Affordable Housing. Affordable and Workforce Housing units should be designed to be intermixed throughout the development and similar design and quality to market rate units.

2. Up to 10% beyond maximum densities for including amenities that provide a community benefit or helps realize specified public policy goals. Examples include: additional protection of green space, recreational areas, open space, natural resources or view corridors environmental improvements, trail connectivity, higher quality building design, or other additional amenities.

3 As identified in respective Area Plans

E A PUD must include usable open space, recreational area, common area or park designed for the use and benefit of all the units or lots in the development. The land area used shall be determined by the type of amenities added by the developer. See examples below:

8 DEVELOPMENT REGULATIONS 93
CHAPTER

F Thoughtful design and architectural themes are required for all structures within any development. Design shall take into consideration themes continues on all elevations for each building, and onto the entire site including, but not limited to: lighting, fencing, accessory structures, signage, and trash enclosures.

G. A separate application or rezoning may accompany the application for approval of the PUD in which case the two items shall be considered simultaneously.

H. The City may recommend a performance bond or other surety to assure the proposed development will be completed as approved and within the time limits agreed to in the conditions of approval.

CHAPTER 8 DEVELOPMENT REGULATIONS 94

5 Review Procedure for PUD’s. The following procedure shall be followed in requesting approval of a PUD.

A. A pre-development meeting is required prior to submittal of an application.

B. Proof a neighborhood meeting was conducted for residential or mixed-used development proposals that generate 200 or more daily trip ends, or 20 or more p.m. peak hour trip ends, where a Transportation Impact Analysis (TIA) is required, See Section 8.0385 for meeting requirements.

C. An applicant shall submit an electronic version of the complete application. The plan shall contain and show, at an engineer’s scale of no less than 1” =10’, the following information:

1. The relationship of the property to the surrounding area.

2. The preliminary plan of subdivision or re-subdivision, if any, which shall include the information required by the Subdivision Ordinance.

3. Land uses, building locations, density proposed, architectural style, efficiency measures, housing market served, and number of dwelling units.

4. The arrangement of streets and pedestrian ways.

5 Proposals that include reduced yards and lot size shall be designed to be served by private alleys or drives.

6 The location of off-street parking spaces, and a parking management plan if the total number of spaces required exceeds 75.

7 The location of service commercial areas, open space, recreational area, common areas, or park

8 Plans for site grading and drainage.

9 Plans for water supply and sewage disposal.

10 Plans for transfer of ownership of the property, if any, and arrangements for maintenance of common areas and facilities.

11 Landscape plan including the list of species proposed and size/coverage at time of planting and at five years.

12 Proposed project timing schedule and surety, if required by City.

D In considering the PUD, the City shall determine:

1. There are special development objectives or physical conditions which justify a request for a PUD.

2. The PUD will contain buffers on sides of the development that abut neighboring properties

3. The PUD, through its design and function, will improve livability for planned residents.

4. The PUD contains a mix of housing types, variety of uses or services.

5. The PUD can be completed within 5 years or phased for later development.

6. The PUD will not overload adjacent streets, utilities, or infrastructure

7. The PUD will be consistent with the objectives of Area Plans and the Redmond Comprehensive Plan.

E. The City Shall notify the applicant whether in its judgment the foregoing provisions have been satisfied and, if not, whether they can be satisfied with other alternatives or revision to the PUD.

6. PUD Post Approval & Modifications. Where a PUD has been authorized pursuant to applicable zoning regulations, the plan of the subdivision shall conform with the plan of the PUD as approved.

CHAPTER 8 DEVELOPMENT REGULATIONS 95

Minor Modification – Minor modification to an approval PUD will be granted when the requested change is so minor that the CDD Director, or designee, determines that it would be appropriate for an administrative decision. Examples of minor changes include, but are not limited to: (1) a reduction in the overall number of lots, (2) minor architectural changes to approved buildings, (3) changes to phases that do no impact public facilities or change the number of approved phases, (4) changes that result in a reduction of impacts (i.e., reduced traffic flows), or (5) changes that are required to protect or increase public safety.

Major Modification - Major modifications to an approved PUD are subject to Section 8.1400.

[Section 8.0275 amended by Ord. #2016-17 passed January 31, 2017]

[Section 8.0275 amended by Ord. #2018-09 passed September 11, 2018]

[Section 8.0275 amended by Ord. #2020-15 passed November 10, 2020]

[Section 8.0275 amended by Ord. #2022-04 passed June 28, 2022]

[Section 8.0275 amended by Ord. #2022-09 passed December 13, 2022]

8.0280

Cluster Developments.

[Section 8.0280 amended by Ord. #2016-17 passed January 31, 2017]

[Section 8.0280 amended by Ord. #2017-12 passed December 12, 2017]

[Section 8.0280 amended by Ord. #2018-09 passed September 11, 2018]

[Section 8.0280 amended by Ord. #2020-15 passed November 10, 2020]

[Section 8.0280 deleted by Ord. #2022-04 passed June 28, 2022]

8.0285 Cottage Developments.

1. The purpose of a Cottage Development (COD) is as follows:

A. To provide a greater flexibility in development of land on sites that may be too small or not desirable for a Planned Unit Development;

B. To provide housing types that respond to changing household sizes and ages (e.g., retirees, single person households, small families);

C. To provide opportunities for ownership of dwelling units;

D. To encourage a creative approach in land development and for a consistent and interesting architectural theme within each development;

E. To encourage creation of more usable open space for residents of the development through flexibility in density and lot standards; and,

F. To provide guidelines to ensure compatibility with surrounding land uses.

2. Throughout section 8.0285, the term “Development” shall mean a Cottage Development (COD).

3. The uses shown in 8.0285 (Table 8c) are permitted in a residential Cottage Development.

Table 8c. Uses Permitted. The following uses are permitted in Cottage Developments:

Land Use

Comments & References

Accessory Structure Includes ADU's, sheds, storage buildings, residential garages.

Dwelling, Single Family Park (public or private)

e.g., playgrounds, recreation centers, pools, etc.

CHAPTER 8 DEVELOPMENT REGULATIONS 96

4. The following exceptions to City standards may be allowed through the COD approval process without a variance:

A. Minimum lot sizes.

B. Yard setbacks, except perimeter yard requirements.

C. Permitted land uses

D. Grid street spacing standards.

E. Street frontage requirements on public roads.

F. Connection to public utilities, subject to review and acceptance by City Engineering.

G. Landscaping requirements, as stated herein.

H. Solar setback standards (only on lots that are not along the northern border of the development).

I. Street and right of way widths on non-grid streets.

J. Sidewalk placement and size standards.

K. Changes to an approved Plan, when the requested change is so minor that the CDD Director or designate determines that it would be appropriate for an administrative decision. Examples of minor changes include, but are not limited to: (1) a reduction in the overall number of lots, (2) minor architectural changes to approved buildings, (3) changes to phases that do not impact public facilities or change the number of approved phases, (4) changes that result in a reduction of impacts (i.e., reduced traffic flows), or (5) changes that are required to protect or increase public safety.

5. Development Standards. CODs shall meet the following Standards unless otherwise specified. In the case that these standards conflict with other standards within Article I, III, or IV of the Redmond Development Code, these standards shall take precedence:

A. Cottage Developments (CODs) have no minimum site size but must include a minimum of 4 cottage units per development.

B. Densities

C. Design Requirements

CHAPTER 8 DEVELOPMENT REGULATIONS 97
Parking Garage (public or private Private only; common area maintained by HOA
Zone Densities (per new acre) R-1 4 to 9 units / acre R-2 4 to 9 units / acre R-3 4 to 10 units / acre R-4 5 to 12 units / acre R-5 8 or more units / acre
Feature Standard Building Height 25 feet Lot Area No minimum Lot Width No minimum Lot Depth No minimum

Floor Area Average of 1000 square feet not to exceed 1250 square feet per unit excluding garage. 400 square feet car garages only, no RV garages.

Open Space 800 square feet per each dwelling unit.

Setbacks 6

Perimeter

20’ when abutting an arterial or collector street (along perimeter), underlying zone in all other cases; Setbacks to common areas determined at the discretion of the Hearings Body.

Front No minimum

Side (corner lot) No minimum, but 10’ required between buildings.

Side (non-corner lot) No minimum, but 10’ required between buildings.

Rear No minimum, but 10‘required between buildings.

Solar Northern perimeter only

Non-permeable surface area 60% of parent property (maximum)

Building coverage 50% of parent property (maximum)

Parking

Residential

1.75 spaces / cottage d.u.

6 Setbacks listed are the minimum required. Setbacks are measured from foundation of any building requiring a building permit to the nearest property line. Foundation includes anchors for posts/supports where structurally related.

D. Open Space, Park, and Common Area.

1. “Open space” means land area which can be physically accessed and used by occupants and users of the COD for scenic, landscaping, or open recreational purposes within the development.

2. Open Space Land Area Requirements: For all CODs, the required land area7 used as open space or common area shall:

a. Be a minimum of 800 square feet per cottage.

b. Have at least one centrally located open space or common area at least 60 feet wide, within the development.

c. At least 60% of the cottages must abut on at least two sides of open space or common area

d. In addition to the centrally located open space, a series of interconnected open spaces are also allowed, but the connections between open spaces shall not contribute toward meeting the open space area and be a minimum of 20 feet wide

3. Cottage Orientation Requirements:

a. Cottages abutting the common open space shall be oriented around and have the main entry taken from the common open space

b. Cottages not abutting the common open space shall be within 60 feet walking distance from the common open space and served with paths.

c. The open space shall be distinguished from the private outdoor areas with a walkway, fencing (not to exceed four feet in height),

98
CHAPTER 8 DEVELOPMENT REGULATIONS
7 Required land area means the total acreage of the project, excluding roads that will be dedicated through the development approval process.

landscaping, berm, or similar method to provide a visual boundary around the perimeter of the common area.

4. Open Space – General Requirements.

a. Public and private roads shall not be considered as open space.

b. Development plans shall assure that natural features of the land are preserved, and landscaping is provided, or a finding shall be made by the Hearings Body that preservation of significant natural feature(s) is not feasible.

c. Parking areas shall not exceed four spaces and shall be separated from other parking areas by a distance of 20 feet.

d. Up to 10% of the required open space / common area / landscaped areas may be left in a natural and non-irrigated state at the discretion of the Hearings Body; however, this shall not apply to any required landscaped screening or landscaped strips abutting public or private roads. If the development has a significant natural feature in excess of the 10% allowance, the Hearings Body may allow additional natural feature open space credit

e. Open space, common areas, and common structures shall be financially assured of continued maintenance. A legal mechanism shall be provided which guarantees the continued maintenance of such areas and structures.

5 General Development Design Requirements.

a. All Development parking lots shall be screened from view from public or private streets (excluding driveways of 20’ width or less), and from all residences by a screen of no less than 3’ in height. Screening shall not exceed a height of 4’.

b. Parking lot screening shall be achieved by either landscaping or fencing, or a combination of each.

c. All parking spaces shall be paved and shall meet the parking space standards within sections 8.0500 -.0515 of the RDC, and all applicable code standards.

d. If detached parking structures are proposed, the following shall apply:

i. Pitched roofs are required on all parking structures and shall be no less than a 4:12 pitch.

ii. Paint color and building materials shall be consistent with the design of the dwelling closest to the structure.

e. Usable Open Space. All required open space within any planned development shall be ‘usable’ as passive or active recreational land without sharing the space as a combined use with nonrecreational uses, including (but not limited to) drainage retention.

f. Yards. Private open space shall be a minimum of 300 square feet of private, contiguous, usable open space adjacent to each dwelling unit, for the exclusive use of the cottage resident.

g. Porches/Patios: Cottages shall have a minimum of 10% of floor area S.F. as a roofed porch or patio combination. Porches are not included within floor area calculations.

h. Required Parking Distance from Cottages. All required parking for Cottage Developments shall be located within 100 feet of the cottage that it serves.

CHAPTER 8 DEVELOPMENT REGULATIONS 99

CHAPTER 8 DEVELOPMENT REGULATIONS

i. Accessory structures in cottage developments are limited to storage buildings that may be up to 80% of the smallest cottage, and to parking structures or garages that may contain up to 6 parking spaces on the interior. All accessory structures in cottage developments shall have an architectural theme that matches the theme of the cottages.

6. Trash Enclosures. Centralized Trash Enclosures may be required at the discretion of city staff. If required, Trash Enclosures shall be architecturally compatible in terms of color and materials with the cottage units. Trash collection bins or carts shall be as approved by the collection company.

7. Procedure for Cottage Developments. The following procedure shall be followed in requesting a PUD approval. A mandatory Pre-Application Meeting is required for any Cottage proposal.

A. An applicant shall submit to the city an electronic version of the complete application. The plan shall show, at an engineer’s scale of no less than 1” = 10’ , the following information.

1 The relationship of the property to the surrounding area.

2. The preliminary plan of subdivision or re-subdivision, if any, which shall include the information required by the Subdivision Ordinance.

3. Lan uses, building locations, density proposed, architectural style, efficiency measures, housing market served, and number of dwelling units.

4. The arrangement of streets and pedestrian ways.

5. Proposals that include reduced yards and lot size shall be designed to be served by private alleys or drives.

6 The location of off-street parking spaces, and a parking management plan if the total number of spaces required exceeds 75. Parking Management plan requires are found at Section.

7. The location of public or common open space/recreation area

8. Plans for site grading and drainage.

9. Plans for water supply and sewage disposal.

10. Plans for transfer of ownership of the property, if any, and arrangements for maintenance of common areas and facilities.

11. Landscape plan including the list species proposed and size/coverage at time of planting and at five years.

12. Proposed project timing schedule and surety, if required by City.

[Section 8.0285 amended by Ord. #2016-17 passed January 31, 2017]

[Section 8.0285 amended by Ord. #2020-15 passed November 10, 2020]

[Section 8.0285 amended by Ord. #2022-09 passed December 13, 2022]

8.0286 Planned Unit Development (PUD), Cluster Development (CLD), and Cottage Development (COD) Review Procedure, Application Materials, and Approval Criteria.

[Section 8.0286 amended by Ord. #2016-17 passed January 31, 2017]

[Section 8.0286 deleted by Ord. #2020-15 passed November 10, 2020]

[Section 8.0286 deleted by Ord. #2022-04 passed June 28, 2022

100

CHAPTER 8 DEVELOPMENT REGULATIONS

8.0287 Amending a Planned Unit, Cluster or Cottage Development.

[Section 8.0287 deleted by Ord. #2020-15 passed November 10, 2020]

[Section 8.0287 deleted by Ord. #2022-04 passed June 28, 2022

101

CHAPTER 8 DEVELOPMENT REGULATIONS

SUPPLEMENTARY PROVISIONS

8.0300 Master Development Plans.

[Section 8.0300 amended by Ord. #2015-01 passed February 24, 2015]

[Section 8.0300 amended by Ord. #2016-17 passed January 31, 2017]

[Section 8.0300 amended by Ord. #2017-12 passed December 12, 2017]

[Section 8.0300 renumbered to 8.0270 by Ord #2022-04 passed June 28,2022]

8.0305 Establishment of Clear Vision Areas. Clear vision areas are measured as follows: starting at the edge of pavement, or curb lines, at the intersection of two vehicular ways, and measuring along each edge of pavement for the distance shown below; this will result in an angle. The end points projecting from the vertex of the angle are then connected, forming a triangle. The area within the triangle is the horizontal clear vision area. The vertical clear vision area is the area above the triangle, between 3’ and 8’ in height.

Clear vision distances shall be as follows:

1. At an intersection of two streets having 90-degree angles at the intersection, the minimum distance shall be 25 feet.

2. At traffic circles, acute or obtuse angles, and other non-conventional intersections of two streets, the clear vision area may be determined by the Hearings Body or City Engineer. However, the clear vision area shall make every attempt to incorporate the 25’ line of sight distance as is stated in (1).

3. All other vehicular intersections, including alleys the minimum clear vision distance shall be 15’.

ILLUSTRATION – STREET TO STREET CLEAR VISION AREA

[Section 8.0305 amended by Ord. #2020-15 passed November 10, 2020]

102

8.0310 Exceptions to Clear Vision Areas. The following are exempt from clear vision area compliance:

1. Post or column

2. Tree trunk (clear of branches or foliage)

3. Safety signage

4. Telephone or power poles

8.0315 Construction or Alteration of Gas or Card-lock Stations. Any gas or card-lock stations which are constructed or undergo major alteration subject to the parameters of RDC sections 8.3005 and 8.3010 shall conform as follows:

1. Minimum lot size for gas or card lock stations:

A. The minimum lot size for station sites shall be 10,000 square feet on a corner lot and 12,000 square feet on any other lot.

B. The minimum street frontage on a corner lot shall be 100 feet.

C. The minimum street frontage for station sites on other than a corner lot shall be 120 feet.

D. The minimum lot depth shall be 100 feet.

8.0320 Gas, Card-Lock, or Fuel Container Abandonment. Any change of use proposed for any facility containing underground or above ground fuel containers shall provide verification from DEQ that all tanks have been removed or have been disabled and decontaminated. Verification of removal and/or decontamination shall occur prior to any building permit being issued for construction or for a change of use.

[Section 8.0320 amended by Ord. #2020-15 passed November 10, 2020]

8.0321 Canopy Standards. For any use or structure proposing an overhead canopy, the following standards shall apply:

1. Definition. A permanent roofed structure which may be free- standing or partially attached to a building for a purpose of providing shelter to patrons in automobiles, and patrons on foot, but shall not mean a completely enclosed structure.

2. Setbacks. Canopy setbacks shall be measured from the edges of the canopy structure closest to the respective property lines and shall meet the setback requirements of the underlying zone, with the exception of, the C-2 zone where there are no required setbacks. The canopy structure shall be set back not less than 10 feet from any property line.

3. Lighting. All lighting directly or indirectly associated with a canopy shall be recessed from direct view from any public or private road, and from all neighboring properties.

4. Stacking Distance. See RDC section 8.0322, “Stacking Room”.

[Section 8.0321 amended by Ord. #2020-15 passed November 10, 2020]

8.0322 Stacking Room. For any use that has drive-up service, the following shall apply.

1. Car length. For this purpose, a car length is deemed to be 20’.

2. Standards. The following shall apply to all on-site stacking room, which is required for any type of drive-up service:

CHAPTER 8 DEVELOPMENT REGULATIONS 103

A. For any single window, gas pump, or other drive up use that is singular in nature (other than espresso stands or fast-food pickup windows) requiring one drive aisle, the minimum stacking room including the pickup location shall be 5 car lengths.

B. For two or more pick up windows, gas pumps, or other drive up uses, the minimum stacking room shall be 4 car lengths for each window, pump, or similar use.

C. For any fast-food use (excluding espresso stands), the required stacking room per drive up window is 7 car lengths.

D. The required stacking room for any espresso stand, coffee kiosk, or similar use, is 3 car lengths per pick up window.

E. Any use that is not identified herein shall incorporate the minimum standard (5 car lengths), or city staff may at their discretion allow for reduction in the amount of required stacking room with the finding that the use will not require the minimum stacking distance.

F. At no time shall stacked cars conflict with any required parking, on-site access, or required loading / unloading area on or adjacent to the site.

G. Any proposed stacking area immediately adjacent to any residence shall incorporate a 6’ tall solid wall as a sound barrier between the commercial use and residence.

[Section 8.0322 amended by Ord. #2020-15 passed November 10, 2020]

8.0323 Minimum Standards for the Construction or Alteration of a Detached Accessory Structure (non-dwelling).

1. The maximum lot coverage for any accessory structures requiring a building permit shall be no more than a total of 35% of the lot size. A Conditional Use Permit is required for the construction of any accessory structure or garage which is over 1,500 sq. ft. or over 80% of the size of the residence, whichever is less.

2. Any accessory structure other than the vehicular opening of a garage shall be set back at least 5 feet from any property line, except as otherwise required by clear vision.

3. Accessory structures requiring a building permit shall meet all solar requirements.

4. Detached accessory structures shall not be located in any required front or side yard setback.

5. Vehicle entrances into detached garages or carports shall be set back no less than 20’ from any alley.

8.0325 Accessory Dwelling Units and Guest Houses. Accessory Dwelling Units (ADU’s) and Guest Houses, when allowed in the underlying zone, are permitted subject to the following. The terms “accessory dwelling unit” and “guest house” are used synonymously herein except for the size limitations and are listed as separate and distinct uses in Table A; guest houses shall not contain kitchens.

1. Development Standards.

A. The size of a stand-alone accessory dwelling unit shall be no less than 300 square feet in gross floor area and no more than 900 square feet in gross floor area. Guest houses shall be no less than 300 square feet in gross floor area and no more than 1200 square feet in gross floor area.

B. ADU Setbacks:

CHAPTER 8 DEVELOPMENT REGULATIONS 104

CHAPTER 8 DEVELOPMENT REGULATIONS

C. If the accessory dwelling unit is located above a garage, the ADU may not exceed the footprint of the garage.

2 An accessory dwelling unit must be able to function as a separate dwelling unit. This includes the following:

A. The accessory dwelling unit must be separately accessible from the exterior. An interior entrance to the primary residence may be approved, pursuant to review and acceptance by the Community Development Director, or designee;

B. The accessory dwelling unit must have separately accessible utilities, unless served by the primary residence.

C. The accessory dwelling unit shall contain a kitchen.

D. The accessory dwelling unit shall contain a bathroom.

E. The accessory dwelling unit shall not be a Recreational Vehicle (RV) or portion thereof.

3. The finished floor height of an accessory dwelling unit shall be entirely above the natural or finished grade, whichever is higher, on all sides of the structure.

4. An accessory dwelling unit shall be located within the dimensional requirements of the zone district in which the property is located and cannot be located in front of the forward-most façade of the primary dwelling.

5. If the entrance is accessed via stairs, a covered porch, or other sufficient means of preventing snow and ice from accumulating on the stairs shall be provided.

6. Accessory dwelling units shall be developed in accordance with the requirements of this title which apply to residential development in general. These include, but are not limited to, all applicable International Building and Fire Code requirements related to adequate natural light, ventilation, fire egress, fire suppression, and sound attenuation between living units. This standard may not be varied.

[Section 8.0325 amended by Ord. #2016-17 passed January 31, 2017]

[Section 8.0325 amended by Ord. #2020-15 passed November 10, 2020]

[Section 8.0325 amended by Ord. #2022-04 passed June 28, 2022]

[Section 8.0325 amended by Ord. #2022-09 passed December 13, 2022]

8.0330 Exterior Lighting.

1. Purpose. The purpose of this code section is to allow residents, businesses, and public entities to adequately illuminate the outdoor areas on their property without adversely

105 Standard R-1 R-2 R-3 - R-3A R-4 R-5 Front* 10 10 10 10 10 Interior Side 5/10 5/10 5 5 5 Street Side 10 10 10 10 10 Rear** One-Story 10 10 10 10 5 One-Story, Abutting Alley 20 20 20 5 5 Two-Story 20 20 20 15 5 Two-Story, Abutting Alley 20 20 20 15 5
*The accessory dwelling unit cannot be located in front of the forward-most façade of the primary dwelling. **Deviation from rear setback may be granted administratively if acceptable off-street parking is provided for one vehicle and notice is provided to Affected Persons per Section 8.1310 and 8.1335.B.

impacting the use of adjacent property and minimizing the impact on Redmond’s dark skies.

2. Applicability. The provisions of this code section apply to all outdoor lighting, including security lighting in all zones, unless exempted under this code section. All outdoor lighting subject to this code section shall comply with these requirements. This includes, but is not limited to, new lighting, replacement or repair of existing nonconforming lighting, and any other lighting whether attached to structures, poles, the earth, or any other location that illuminates exterior areas of the property. It is the property owner’s responsibility to ensure compliance with this code section, including lighting installed by a third party or prior property owner.

3. Requirements for Lighting Regulated by this Code Section

A. All lighting shall be downcast and use a shielded fixture or other means to limit up lighting. The terms “downcast and shielded” mean that the fixture allows no light emission above a horizontal plane through the bottom of the fixture. See illustration A which illustrates downcast lighting and up lighting.

B. Lighting shall not shine into neighboring residences, or onto public streets.

C. Lighting in the canyon or within 25’ of the canyon rim shall be submitted to and reviewed by the Community Development Director or Planning Commission prior to installation for compliance with this code section.

4. The following shall be exempt from the provisions of this code section:

A City approved lighting within public right-of-way or easement for the principal purpose of illuminating streets, roads, and street signs.

B. Lighting for public facilities including but not limited to, City Hall, public monuments, public art, public parks, and public landscaping.

C. All lighting at the Redmond Municipal Airport.

D. All lighting at the Deschutes County Fairgrounds.

E. All lighting for public schools, except that sport field lighting shall be turned off within one hour of the end of the event or game.

F All lighting of buildings designated as historic by the City of Redmond.

G. Sign lighting that is otherwise regulated by the provisions of the City of Redmond Sign Code

H. Temporary lighting for theatrical, television, performance areas and construction sites as approved by the Community Development Department.

I. Underwater lighting in swimming pools and other water features.

J. Emergency lighting that is only used under emergency conditions and other lighting being used during police declared emergency.

K. Lights used for holiday decorations.

L. Motion detector lights that operate automatically for periods of less than ten minutes.

M. Lighting of flags for the United States, State of Oregon, POW, and City of Redmond

N. Lighting required by federal or state laws or regulations.

O. Outdoor lighting fixtures lawfully installed prior to and operable on the effective date of this code section, and which are in compliance with the prior version of RMC 8.0330 may continue to be used as a nonconforming light fixture. Any repair, replacement, or relocation of outdoor light fixtures as of the effective date of this code section shall be subject to the provisions of this code section.

CHAPTER 8 DEVELOPMENT REGULATIONS 106

[Section 8.0330 amended by Ord. #2018-12 passed November 13, 2018]

8.0335 Development Standards Along the Perimeter of the Canyon.

1. The following rules apply to any development within 100 feet of the canyon rim:

A. Any dwelling or accessory structure shall be less than twenty-four (24) feet in height and setback at least twenty-five feet from the canyon rim;

B. No existing trees within 25 feet of the canyon rim, over 3" caliper measured 3 feet above ground level shall be removed from the site or, if removed, are replaced by an equal number of tree(s) that are at least 2" caliper measured 3' above ground level;

C. Development shall maintain the natural appearance of the canyon rim; no alteration of the rock formation portion of the canyon rim is permitted;

D. No fence is constructed within ten (10) feet of the canyon rim;

E. All lots fronting on the canyon rim shall be a minimum of 9,000 square feet;

F. No deck, patio or structure requiring a building permit may be constructed within ten (10) feet of the canyon rim;

G. Lighting shall be met subject to 8.0330, “Exterior Lighting”

2. A Conditional Use Permit is required for the following Development along Redmond Dry Canyon:

A. Any structure exceeding 24' height, or is located within 25’ of the canyon rim;

B. Any structure not governed by section (A)(1) located in a side or rear yard area adjacent to the canyon rim

C Decks or patios shall be setback from the canyon rim the same number of feet as the height of the deck or patio from the ground.

[Section 8.0335 amended by Ord. #2016-17 passed January 31, 2017]

CHAPTER 8 DEVELOPMENT REGULATIONS 107
Illustration A: Downcast
meansAnylightthatisnot“uplight”andislessthan90degreesdownfromthefixtureshieldasshown below

[Section 8.0335 amended by Ord. #2022-04 passed June 28, 2022]

8.0340 Fences. All fences constructed shall comply with the following standards. For the purpose of these standards, fences refer to fences, lattice work, screens, or walls (other than a retaining wall). The intent of these standards is to ensure that fencing contributes positively to the appearance of the community and neighborhoods, and that the scale, location, and aesthetics of fencing does not adversely affect surrounding properties or public safety.

1. On all properties one (1) acre or less in size, in all Residential Zones (including residential uses in the C-2 Zone and in the Downtown Overlay District) and the Urban Holding Zone, all fences shall be developed to the following standards:

A. Fences abutting a local public street shall comply with the following:

1. Fences in front yards, and in that portion of side yards extending from the front property line to the front façade of the dwelling, shall be a maximum of 3½ feet tall.

2. On corner lots, only one front yard restriction is applied relative to the 3½ feet fence height restriction, in which case, the fence along the non-front yard designated side may be up to 6 feet tall from the front façade of the house back to the rear property line (see fence example in Figure 1).

3. Fences in that portion of side yards extending from the front façade of the dwelling to the rear property line, and all rear yards, shall be a maximum of 8 feet tall.

4 Fences located in side and rear yards shall incorporate architectural columns consisting of materials such as stone, brick, rock, wood, or other similar products, at each property corner along the fence that abuts the street. (See: Examples) The columns shall be a minimum of 12” x 12” in size.

5 Fences shall be constructed of wood, vinyl, or wrought iron. Chain link fences are not permitted. Other types of fence material, powder coating and construction may be approved by the Community Development Director, or designee, subject to conforming with the intent statement above.

6 Fences in side or rear yards which abut an alley shall be allowed to be 8 feet in height. (Note: the Oregon State Building Code – as defined in State Statute – indicates that fences in excess of 7 feet in height require a building permit and may need to be professionally engineered).

7. Fences which encroach into the public right-of-way shall be treated as a nuisance and shall be subject to enforcement pursuant to Section 8.0805 of the City of Redmond Development Code.

B Fences abutting a collector or arterial street shall comply with the following:

1. In addition to the requirements for fences abutting a local street, fences located in side and rear yards that abut a collector or arterial public street shall in addition incorporate a minimum 5” wide square column every eight (8) feet along the fence with a cap added to the top of each column that is a minimum of a ½” larger in each direction and a minimum of 1” in height.

C. Fences not abutting a public street shall comply with the following:

1. Fences located in the side or rear yards shall not exceed 8 feet in height. (Note: the Oregon State Building Code – as defined in State Statute –

CHAPTER 8 DEVELOPMENT REGULATIONS 108

indicates that fences in excess of 7 feet in height require a building permit and may need to be professionally engineered).

D. No fence in any residential zone, except as exempted by Section 8.0340(5), shall be constructed with barbed wire, razor wire, or similar apparatus.

2 In all Commercial Zones (except for the C-2, Central Business District Zone, and the Mixed-Use Zones), the PF-Public Facility Zone, the Park Zone, and in any Industrial Zone, all fences shall be developed to the following standards:

A. The maximum height of a fence shall not exceed 8 feet. (Note: The International Building Code indicates that fences in excess of 7 feet in height require a building permit and may need to be professionally engineered).

3. For any development undergoing land use review, any wood or vinyl fence bordering a street shall incorporate architectural elements in accordance with Section 8.0340(1)(A)(4) and/or (1)(B)(1) herein.

4. All fences, regardless of zone or location, shall comply with the following requirements:

A. Fences fronting public streets shall provide one gate, opening, or other site access for emergency services use. For corner lots, only one opening along either the front or side yard frontage is required.

B. Fences shall not block the clear vision area and shall comply with the standards in RDC Section 8.0305.

C. Fences shall be constructed on private property and shall not be located in public rights-of-way.

D. Fences shall be comprised of wood, vinyl, metal, or other sturdy material that is able to be painted and/or maintained in structurally sound condition. All fences shall be free from exposed nails, screws, loose members, decaying materials, or other similar conditions that can pose a hazard.

5. The following fences shall be exempt from the standards set forth herein, except for the requirement to comply with the clear vision standards in the RDC Section 8.0305, as listed in Section 8.0340(4)(B) above:

A. Any security fencing around a public or quasi-public utility or entity including the Airport perimeter.

B. Fences related to a park or school use including (but not necessarily limited to) tennis courts, driving ranges and ball fields.

CHAPTER 8 DEVELOPMENT REGULATIONS 109
Figure 1 Corner Lot Fence Example

C Fences necessary for compliance with any documented Federal or State mandated requirements (i.e., Homeland Security requirements)

D. Any fence exempted under (5)(A and B) herein that is in excess of 20 feet in height shall require conditional use permit review and approval, and a public hearing.

Examples:

E. In the C-2 and DOD zoning districts, fences shall comply with the following standards:

Track 1. Fences along street frontages and/or in front of a building shall be no taller than 4 ft. Fences shall be made of wood, wrought iron, powder coated chain-link, and shall be at least 75% transparent in composition Proposals that do not fit the Track 1 provision shall be processed as a Track 2 application.

Track 2. As an alternative to the Track 1 standards, fencing proposals must utilize alternative designs if they reflect the architectural theme of the buildng and site. They must also show how the public is separated from the on-site activities in an aesthetic and practical manner. In no case shall fences be taller than 6 feet in height.

[Section 8.0340 amended by Ord. #2013-04 passed May 14, 2013]

[Section 8.0340 amended by Ord. #2014-14 passed July 22, 2104]

[Section 8.0340 amended by Ord. #2016-17 passed January 31, 2017]

[Section 8.0340 amended by Ord. #2018-09 passed September 11, 2018]

[Section 8.0340 amended by Ord. #2020-15 passed November 10, 2020]

[Section 8.0340 amended by Ord. #2022-04 passed June 28, 2022]

[Section 8.0340 amended by Ord. #2022-09 passed December 13, 2022]

8.0345 Home Occupation. The purpose of a home occupation is to allow residents the opportunity to engage in a home-based business. Home occupations shall have characteristics that are indistinguishable from the residential use of a dwelling, or property, and do not infringe upon the rights of nearby residents. Meeting the criteria below shall be considered and permitted as uses accessory to the residential use of a dwelling

1. The home occupation is to be secondary to the main use of the property as a residence

The home occupation can occur in the primary dwelling or in an accessory structure on the same property.

CHAPTER 8 DEVELOPMENT REGULATIONS 110

2. No structural alterations shall be allowed to accommodate the home occupation except when otherwise required by law, and then only after the plans for such alterations have been reviewed and approved by the City. Such structural alterations shall not detract from the outward appearance of the building as a residence.

3. The home occupation must be conducted wholly within lawfully built enclosed structures and in such a manner as not to give an onward appearance of a business.

4. Outdoor storage, including but not limited to, inventory, supplies, or equipment, must be completely screened behind a sigh-obscuring fence or within an enclosed structure; stored products; equipment, or materials shall not be visible from the public right-of-way or adjacent properties or common area.

5. A home occupation is prohibited which is inconsistent with the residential use of the property or creates adverse impacts such as: noise, vibration, smoke, dust, odor, generation or addition traffic, or other factors.

6. No materials or commodities shall be delivered to or from the property which are of such bulk or quantity as to require delivery by a commercial vehicle or a trailer or the parking of customer's vehicles in a manner or frequency as to cause disturbance or inconvenience to nearby residents or so as to necessitate off-street parking.

7 Exterior signs shall be limited to those permitted in the zone in which the home occupation is located. There shall be no other exterior indication of the home occupation.

8. Allows on-site one (1) business related vehicle or truck not exceeding 15,000 pounds gross vehicle weight and one (1) other non-motorized wheeled trailer, which shall not exceed 10,000 pounds gross vehicle weight. No commercial vehicle as defined in ORS 801.208, as amended, is permitted as part of a home occupation.

9. There shall be no retail sales from the premises.

10 Home occupation licenses are subject to City Cody Section 5.335 et seq governing nuisances and noise

[Section 8.0345 amended by Ord. #2020-15 passed November 10, 2020]

[Section 8.0345 amended by Ord. #2022-04 passed June 28, 2022]

8.0350 Design Standards for all Residential Structures and Sites fronting both public or private streets and alleys

1 The front doors and front facade of all primary dwelling units shall face a public or private street

2. At least one yard facing a public or private street shall provide a gate, opening, or other access for emergency service use.

3 For all residential lots served by alleys and fronting a public or private street, addresses shall be clearly visible from the street rather than from the alley.

8.0360 Placement of a Temporary Residence. A temporary residence may be placed on a site in conjunction with the issuance of a building permit for a period of six months following the date of issuance. A property owner may apply for a permit allowing such placement by filing an application with the Community Development Director on a form provided by the Planning Department. The Community Development Director shall issue said permit but may attach conditions deemed necessary to minimize the impact of the placements on the adjacent properties. The Community Development Director may also grant an additional six months for the permit if the applicant can establish the extension is necessary.

CHAPTER 8 DEVELOPMENT REGULATIONS 111

8.0362 Placement of Temporary Residences for Medical Hardship. A temporary residence shall be allowed as an additional dwelling due to a medical hardship under the following restrictions:

1. The temporary residence shall be placed within 100 feet of the main dwelling.

2. The temporary residence shall be connected to the same sewage facility as the main residence where applicable.

3. The applicant shall renew the permit on an annual basis and the Community Development Director shall review permits issued at any time and may revoke the permits when they are found to not be needed for the original purpose.

4. The applicant shall provide a letter from a physician documenting the need for the temporary residence.

5. The temporary residence must be removed within 90 days after termination of the permit.

6. The temporary residence must meet all the required setbacks.

7. If the temporary residence is visible from any adjacent property, site obscuring, screening shall be required.

8.0364 Beekeeping. The purpose of this section is to regulate the keeping of bees on residential lots within the City of Redmond. This activity is considered to be an accessory use subject to the following standards:

1. Location, Density, and Maintenance of Colonies.

A. The number of colonies is limited to one (1) colony per legal lot of up to 5,000 sq. ft. of lot area, plus one (1) additional colony per each additional 5,000 sq. ft. of lot area, up to a maximum of eight (8) colonies regardless of lot size.

B. Colonies shall be located in the side or rear yard and set back no less than 10 feet from the nearest property line.

C. Hives shall be placed on property, so the general flight pattern of bees does not unduly impact neighboring properties or their inhabitants. If any portion of a hive is located within thirty (30) feet of a public or private property line, a flyaway barrier at least six (6) feet in height shall be established and maintained around the hive. The flyaway barrier shall be located along the property boundary or parallel to the property line, and shall consist of a solid wall, solid fencing material, dense vegetation or combination thereof extending at least ten (10) feet beyond the colony in each direction, so that all honeybees are forced to fly at an elevation of at least six (6) feet above ground level over the property lines in the vicinity of the colony.

D. Colonies shall be maintained in movable-frame hives with adequate space and management techniques to prevent overcrowding.

E. Every beekeeper shall maintain a supply of water for the bees located within 10 feet of each hive. The water shall be in a location that minimizes any nuisance created by bees seeking water on neighboring property.

F. Hives shall be actively maintained. Hives not under human management and maintenance shall be dismantled or removed.

G. In any instance in which a colony exhibits unusually aggressive characteristics or a disposition toward swarming, it shall be the duty of the beekeeper to promptly re-queen the colony with another queen, or the colony will be destroyed.

[Section 8.0364 added by Ord. #2010-10 passed October 26, 2010]

CHAPTER 8 DEVELOPMENT REGULATIONS 112

8.0365 Keeping of Livestock. The keeping of livestock in any residential zone that permits the keeping of livestock shall be subject to the following limitations:

1. The required area for horses shall be a usable area of 10,000 square feet for one horse, 20,000 square feet for two horses, and 5,000 square feet for each additional horse.

2. Cows, goats, and sheep shall have a fenced corral or pasture with a usable area of at least 10,000 square feet per animal.

3. The number of chickens, fowl, and/or rabbits shall not exceed one for each 500 square feet of property.

4. Animal runs or barns, chicken or fowl pens shall be located on the rear half of the property not closer than 50 feet from any residence abutting the subject property.

5. Animals, chickens, and/or fowl shall be properly caged or housed, and proper sanitation shall be maintained at all times. All animal or poultry food shall be stored in metal or other rodent-proof containers.

6. No enclosure for horses, cows, goats, sheep, or other livestock shall be located closer than 50 feet to a dwelling abutting the subject property.

7. Fences used for enclosing livestock shall be kept in good repair and be at least four feet in height

[Section 8.0365 amended by Ord. #2010-10 passed October 26, 2010]

[Section 8.0365 amended by Ord. #2018-09 passed September 11, 2018]

8.0366 Trans America Bike Route No land use action or permit shall be allowed on adjacent lands to the Trans America Bike Route that will adversely affect the function of the bike route.

8.0367 OSPR / “R” Zone Density Transfer Provisions.

1 All property within the North Redmond US 97 Interchange Area Management Plan (IAMP) area, and annexed to the City, shall be subject to a condition of development approval that stipulates the property shall:

A. Have immediate direct access to a local public street other than a state highway,

B. Comply with the IAMP Local Street Connectivity Plan (Comprehensive Plan Addendum Chapter 9 Transportation Element figure 1); and

C. Relinquish all direct access rights to a state highway when a legal alternative access exists (Amended by City Ordinance 2007-9, June 9, 2007)

[Section 8.0367 amended by Ord. #2015-01 passed February 24, 2015]

[Section 8.0367 amended by Ord. #2016-17 passed January 31, 2017]

8.0370 Building Setbacks for the Protection of Solar Access.

[Section 8.0370 amended by Ord. #2012-04 passed April 24, 2012]

[Section 8.0370 amended by Ord. #2020-15 passed November 10, 2020]

[Section 8.0370 deleted by Ord. #2022-04 passed June 28, 2022]

8.0375 Manufactured Home Park Standards. Manufactured Home Park. A manufactured home park shall be built to site standards in effect at the time of construction and shall comply with the following additional provisions.

CHAPTER 8 DEVELOPMENT REGULATIONS 113

1. Evidence shall be provided that the park will be connected to City sewer and water services.

2. The space provided for each manufactured home shall be provided with City water, electrical, and sewerage connections.

3. The number of manufactured homes shall not exceed the maximum density permitted in the underlying zone.

4. A manufactured home shall not occupy more than 40 percent of the contiguous space provided for the exclusive use of the occupants of the manufactured homes and exclusive of space provided for the common use of tenants, such a roadway, general use structures, parking spaces, walkways, and areas for recreation and landscaping.

5. No manufactured home in the park shall be located closer than 15 feet from another manufactured home or from a general use building in the park. No manufactured home accessory building shall be closer than 10 feet from a manufactured home space or other building or structure. No manufactured home or other building or structure shall be within 25 feet of a public street property boundary or 10 feet of another property boundary.

6. A manufactured home permitted in the park shall meet the following standards as determined by an inspection by the Building Official:

A. It shall have a State insignia indicating compliance with Oregon State Manufactured Home Construction Standards in effect at the time of the manufacture and including compliance for reconstruction or equipment installation made after manufacture.

B. Notwithstanding deterioration which may have occurred due to misuse, neglect, accident, or other cause, the manufactured home shall meet the State standards for manufactured home construction evidenced by the insigne.

C. It shall not contain less than 225 square feet of space as determined by measurement of the unit exclusive of any trailer hitch device.

D. It shall contain a water closet, lavatory, shower or tub, and a sink in a kitchen or other food preparation space.

E. A manufactured home permitted in the park shall be provided with a continuous skirting.

7. There shall be no outdoor storage of furniture, tools, equipment, building materials or supplies belonging to the occupants or management of the park.

8. The land which is used for park purposes shall be surrounded, except at entry and exit places, by a sight obscuring fence or hedge not less than six feet in height. The fence or hedge shall be maintained in a neat appearance.

9. If the park provides space for 50 or more manufactured home units, each vehicular way in the park shall be named and marked with signs which are similar in appearance to those used to identify public streets. A map of the named vehicular ways shall be provided to the fire department.

10. If a manufactured home space or permanent structure in a park is more than 500 feet from a public fire hydrant, the park shall have water supply mains designed to serve fire hydrants and hydrants shall be provided within 500 feet of such space or structure. Each hydrant within the park shall be located on vehicular way and shall conform in design and capacity to the public hydrants in the City.

11. Open Space. A minimum of at least 2,500 square feet plus 150 square feet per manufactured home space shall be provided for a recreational play area, group, or community activity. The Hearings Body may require this area to be physically separated from streets, or parking area, by a fence or the equivalent, that conforms to fence regulations, but at least 30 inches in height where allowed by fence standards. Unless otherwise approved, no required open space area shall contain less than 2,500 square

CHAPTER 8 DEVELOPMENT REGULATIONS 114

feet. Recreation areas shall be improved with grass, plantings, surfacing, or buildings suitable for recreational use. No recreation facility created within a manufactured home park wholly to satisfy the requirements of this section shall be open to, or offered in itself, to the general public.

12. Parking Space Requirement. Two parking spaces shall be provided for each manufactured home space on the site. In addition, guest parking spaces shall also be provided in every manufactured home park within 200 feet of the manufactured home spaces served and at a ratio of one parking space for each two manufactured home spaces. Parking spaces shall have durable and dustless surfaces adequately maintained for all-weather use and shall be properly drained.

13. All manufactured home parks over 10 acres in size shall be located to have access on a street designated as a collector street unless otherwise approved by the Community Development Director, or designee.

14. All manufactured home parks containing a total site area of 20 acres or more shall provide a secondary access to the mobile home park. Such secondary access shall enter the public street system at least 150 feet from the primary access.

15. Lighting shall be installed along the access ways of the manufactured home park and the recreation area with lights of 100 watts or better or not over 100 feet apart. Wires for service to light poles and trailer spaces shall be underground.

16. Roadways within the park shall be paved and shall not be less than 30 feet in width if parking is permitted on the margin of the roadway, or less than 24 feet in width if parking is not permitted on the edge of the roadway and an adequate designated area is provided and improved for guest parking and tenant recreational vehicles (such area shall be designed and improved to provide not less than one parking space per each two unit spaces in the park).

17. No manufactured home park shall be created on a site of less than one acre

18. Sidewalks or other approved surfaced pedestrian walkways shall be provided.

[Section 8.0375 amended by Ord #2020-15 passed November 10, 2020]

[Section 8.0375 amended by Ord. #2022-04 passed June 28, 2022]

8.0380 Temporary Use Permit (TUP).

1. Purpose. The purpose of this section is to establish regulations for uses that are temporary in nature.

2. Intent. The intent of this section is to ensure that the temporary uses do not adversely impact the long-term uses of the same or neighboring sites or impact the general health, safety, and welfare of persons residing within the community.

3. Applicability. Temporary uses are characterized by their short-term or seasonal nature and by the fact that permanent changes are not made to the site. These provisions place restrictions on the duration of the temporary use, its location, and other development standards.

4. Approval. Approval may be granted for structures or uses which are temporary or seasonal in nature, such as: temporary real estate offices, construction trailers and construction offices, provided such uses comply with other provisions of this Code, or other required City, County or State permits.

5. Application and Fee. An application for a temporary use shall be filed with the City and accompanied by the fee as specified in the City fee schedule.

6. Permit Approval. A TUP may be authorized by the Community Development Director, or designee, provided that the applicant submits a narrative and detailed site plan that demonstrates that the proposed use:

CHAPTER 8 DEVELOPMENT REGULATIONS 115

A. Generally conforms to the standards of the zone in which it is located.

B The proposed use will not adversely affect adjacent structures and uses of the surrounding neighborhood.

C. The proposed use will not adversely affect the circulation and flow of vehicular and pedestrian traffic in the immediate area.

D. The proposed use will not create a demand for additional parking which cannot be met safely and efficiently in existing parking areas.

E. The proposed use will not conflict with the terms or intent of any other use permit, of any type, currently in effect on the property.

F. The proposed use will comply with applicable noise, odor, nuisance, fire code and other provisions of this Code and not be detrimental to the public welfare of the community.

G. Meets all applicable Building Code requirements.

7. Time Limits. Temporary uses may be issued a permit for up to one year to accommodate the duration of the proposed use. The temporary use or structure shall be removed upon expiration of the TUP.

8. Conditions. Reasonable, clear, and objective conditions may be imposed in connection with the TUP as necessary to meet the purposes and intent of this section. Guarantees and evidence may be required that such conditions will be or are being complied with. Such conditions may include, but are not limited to:

A. Special setbacks and spaces.

B. Fences and walls.

C Control of points of vehicular ingress and egress.

D. Special provisions for signs.

E Maintenance of landscaping, weeds, litter, debris, and dust.

F. Control of noise, vibration, and odors.

G. Limitation of operational hours for certain activities.

H. A time period within which the proposed use shall be developed.

I. A time limit on total duration of temporary use.

9. Revocation. Any departure from approved plans not authorized shall be cause for revocation. Furthermore, if in the Community Development Director’s, or designee, determination, a condition, or conditions, of TUP approval are not or cannot be satisfied, the TUP approval, or building and occupancy permits, shall be revoked.

10. Extension. Not less than ten days before expiration, a request for a one-time extension of a temporary use for an additional period may be considered.

[Section 8.0380 added by Ord. #2022-04 passed June 28, 2022]

[Section 8.0380 amended by Ord. #2022-09 passed December 13, 2022]

8.0385

Neighborhood Meeting.

1. Purpose and Intent. The purpose of the neighborhood meeting is to provide a forum for the applicant, surrounding neighbors, and interested members of the community to meet and consider a proposed land use application, and to discuss issues/concerns regarding the proposal prior to application submittal. Neighborhood meetings encourage citizen participation early in the development process, and an opportunity to revise the land use application to address the issues prior to application submittal.

2. Applicability. Neighborhood meetings are encouraged prior to submitting any land use application. The following application types or development proposals shall be subject to the neighborhood meeting requirements:

A. Master Development Plans.

8 DEVELOPMENT
116
CHAPTER
REGULATIONS

B. Residential or mixed use development proposals that generate 200 or more daily trip ends, or 20 or more p.m. peak hour trip ends, where a Transportation Impact Analysis (TIA) is required.

C. Wireless and Broadcast Communications Facilities.

3. Requirements and Procedures. The neighborhood meeting must be held after a predevelopment meeting with City Staff, but before submittal of a land use application. The applicant shall be required to hold only one meeting prior to submitting an application for a specific site but may hold more if desired. If the development proposal is revised after the neighborhood meeting, and a major modification is requested, a second neighborhood meeting with a new notice shall be required before the revised application is submitted.

A. Location and Time. Neighborhood meetings shall be held in person at a location in reasonable proximity to the subject site. The meeting shall be held at a location open to the public., City Staff, and at a facility that is ADA accessible. The meeting shall be held on a weekday evening, or weekends at any reasonable time. Applicants may provide a virtual component for participants to join in the meeting. The virtual component shall not be done in lieu of the inperson requirements. ADA accommodations when requested by attendee must be provided.

B. Notice – Mail. Mailed notice of the meeting shall be provided by the applicant to the neighboring property owners (within 750 feet outside city limits and 250 feet within city limits) and the Community Development Department between ten and 30 calendar days prior to the meeting. Notices must be sent first class and shall include the date, time, and location of the meeting, as well as a brief description of the development proposal and property location. The description shall take into consideration information provided by City staff at the pre-development meeting, include project contact information, a copy of the tax map or a GIS map that clearly identifies the location of the proposed development, and a conceptual site plan

C. Notice – Signage. The applicant shall also post notice of the neighborhood meeting on the subject site or on an access easement to the site within clear view of a public street at least seven days in advance of the meeting. The sign must display the meeting date, time, and address as well as project contact information

D. Meeting Requirements. The developer must provide a sign-in sheet for attendees to provide their name, address, telephone number, and email address. At the meeting, the applicant shall provide a conceptual site plan and describe the major elements of the proposal. Depending on the type and scale of the particular application, the applicant should be prepared to discuss proposed land uses and densities; traffic impacts; proposed building size and height; proposed access and parking; and proposed landscaping, buffering and/or protection of natural resources as applicable. Attendees will have an opportunity to speak at the meeting and may identify any issues that they believe should be addressed. If no one arrives within 30 minutes of the scheduled start time for the meeting, the applicant may close the meeting and this requirement will be considered met upon the applicant’s submittal of the documentation to that effect.

E. Materials Submitted with Application. The neighborhood meeting notes that identify the major points discussed about the development, list of parties notified, signed affidavits of mailing and posting notices, copies of all materials provided by the applicant, and a signature sheet of attendees shall be included with the development application upon submittal.

CHAPTER 8 DEVELOPMENT REGULATIONS 117

F. Validity Period. The land use application shall be submitted to the City within 180 days of the neighborhood meeting. If an application is not submitted in this timeframe, the applicant shall be required to hold a new neighborhood meeting.

G. Denial. Failure of the applicant to hold a neighborhood meeting in accordance with these provisions prior to submittal of a land use application shall result in an incomplete application and the application may be rejected.

[Section 8.0385 added by Ord. #2022-09 passed December 13, 2022]

8 DEVELOPMENT
118
CHAPTER
REGULATIONS

WIRELESS AND BROADCAST COMMUNICATIONS FACILITIES

8.0400 Title. The City of Redmond Wireless and Broadcast Communication Facility Standards are contained in Sections 8.0400 through 8.0450 herein inclusive.

[Section 8.0400 deleted by Ord. #2011-13 passed November 8, 2011]

[Section 8.0400 added by Ord. #2011-13 passed November 8, 2011]

8.0405 Purpose and Applicability.

1. Purpose. The purpose of these standards is to provide reasonable and necessary regulations for the erection of wireless and broadcast communication facilities in order to:

A. Implement an application process for the review and permitting of facilities.

B. Minimize the visual impacts of such facilities through careful design, siting, and screening.

C. Allow for the reasonable siting of facilities necessary to meet the functional requirements of the wireless and broadcast industries and the public and private utilities, including conformance with the guidelines and intent of federal law and the Telecommunications Act of 1996

D. Provide for the reasonable siting of non-commercial transmitting and receiving antennas for the recreational benefits of the citizens

E. Promote and encourage, whenever practicable and whenever possible, the sharing and/or co-location of facilities among service providers.

F. Promote and encourage, whenever possible, the placement, height and quantity of facilities in such a manner, including but not limited to the use of stealth technology, to minimize adverse aesthetic and visual impacts on the land, property and buildings adjacent to, surrounding, and in generally the same area as the requested location of such facilities, which shall mean using the least visually and physically intrusive facility that is not technologically or commercially impracticable under the facts and circumstances.

G. Avoid potential damage to adjacent properties from tower failure through proper engineering and careful siting of towers.

H. Protect the functions and safety of the Redmond Municipal Airport by adherence to Federal Aviation Regulations (FAR) Part 77, Oregon Aeronautics Division’s Administrative Rule 738-70-010 through 738-70-260, “Physical Hazards to Air Navigation” , and the Redmond Airport Master Plan.

2. Applicability. This Section applies to the development, siting, and installation of wireless and broadcast communication facilities, including but not limited to cellular telephone facilities, broadband internet facilities, and radio and TV broadcasting facilities. This Section in no way prohibits, restricts, or impairs the installation, maintenance, or use of video antennas (including direct-to-home satellite dishes, TV antennas, and wireless cable antennas) used by viewers to receive video programming signals from direct broadcast facilities, broadband radio service providers, and TV broadcast stations.

[Section 8.0405 deleted by Ord. #2011-13 passed November 8, 2011]

[Section 8.0405 added by Ord. #2011-13 passed November 8, 2011]

[Section 8.0405 amended by Ord. #2020-15 passed November 10, 2020]

CHAPTER 8 DEVELOPMENT REGULATIONS 119

8.0410 Definitions. The following words and phrases used in this Chapter, which supplement the definitions found in Section 8.0020 and elsewhere in this Code, shall have the following meanings:

Abandoned facility means a wireless and broadcast communication facility, including the telecommunications tower, where the use thereof has been discontinued for more than ninety (90) days.

Alternative tower structure means any existing building or other structure that is able to be used to support communication and broadcast equipment, including but not limited to light poles, utility poles, steeples, etc., but not including camouflaged or stealth towers constructed for the specific purpose of supporting communication and broadcast equipment. For the purposes of this definition, an alternative tower structure shall include all attached elements necessary to/for the structural integrity of the alternative tower structure.

Antenna means any system of wires, poles, rods, reflecting discs or similar devices designed for telephonic, radio, facsimile, data, or television communications through sending and/or receiving of electromagnetic waves when such system is either external to or attached to the exterior of a structure. Antennas shall include, but not be limited to, devices having active elements extending in any direction, and directional beam-type arrays having elements carried by and disposed from a generally horizontal boom that may be mounted up and rotated through a vertical mast or tower interconnecting the boom and antenna support, all of which elements are deemed to be part of the antenna.

Antenna height means the vertical distance measured from the ground surface at grade to the tip of the highest point of the antenna on the proposed structure

Antenna Support means any pole, telescoping mast, tower, tripod, or any other structure that supports a device used in the transmitting and/or receiving of electromagnetic waves.

Breakpoint means the height at which a tower is structurally designed to collapse and fall within a predetermined radius.

Broadcast communication facility means any facility that transmits radio or television signals including, but not limited to, antennas, dish antennas, microwave antennas, and other types of equipment for the transmission of such signals, including towers and similar supporting structures, equipment cabinets or buildings, parking areas, and other accessory development. This definition does not apply to Amateur Radio Stations as defined by the Federal Communications Commission, Part 97 of the Commission’s Rules.

Camouflaged means any wireless or broadcast communication facility that is designed to blend into the surrounding environment. Examples of camouflaged facilities may include architecturally screened roof-mounted antennas, building-mounted antennas painted to match the existing structure, antennas integrated into architectural elements, towers made to look like trees and antenna support structures designed to look like flag poles or light poles.

Collocation means locating wireless or broadcast communication equipment from more than one provider on a single support structure, including an increase in height of an existing tower or alternative tower structure to allow installation of such additional wireless communication or broadcast facility equipment.

Enclosure means an area, fenced or otherwise delineated, around the perimeter on which the equipment building, shelter, cabinet or other ancillary facilities are located. Equipment building, shelter, cabinet or structure means a free-standing cabinet, shelter, building, or other structure used primarily to house equipment used by wireless or broadcast communication providers at a facility.

CHAPTER 8 DEVELOPMENT REGULATIONS 120

FAA means Federal Aviation Administration

FCC means the Federal Communications Commission.

Façade mounted antenna means an antenna architecturally integrated into the façade of a building or structure.

Facility, as used in this Chapter, is inclusive of all of the elements of wireless or broadcast communication facilities, as they may be more specifically defined herein.

Guyed tower means a wireless or broadcast communication tower that is supported, in whole or in part, by guy wires and ground anchors.

Height means, when referring to a tower or structure, the distance measured from the pre-existing grade level to the highest point on the tower structure, even if said highest point is an Antenna, light, or lightning protection device.

Lattice tower means a guyed or self-supporting three or four sided, open, steel frame support structure used to support wireless or broadcast communication equipment. Maintenance means emergency or routine repairs or replacement of transmitters, antennas, or other components of previously approved wireless telecommunication facilities which do not create a significant change in visual appearance or visual impact. Microcell means low powered antenna that provide additional coverage and capacity where there are high numbers of users within urban and suburban macrocells, and are mounted at street level, typically on the external walls of existing structures, lampposts, and other street furniture.

Monopole means a wireless or broadcast communication facility consisting of a single pole constructed for purposes of supporting one or more antennas without guy wires or ground anchors.

Neighborhood character means those unique attributes including, but not limited to, architecture, historical and cultural features, historical development patterns, landscape, hardscape, and the size, scale and spacing of buildings and other structures that define a neighborhood’s identity.

New Wireless and Broadcast Communication Facility means any newly constructed or installed wireless or broadcast communication facility whether or not it uses an existing telecommunication tower, an alternative tower structure or any modification of an existing wireless or broadcast communication facility, except for those collocations that are exempt from land use review under Section 8.0425 (2) of this code and those structures or activities exempted under Section 8.0440 of this code.

Panel or directional antenna means an antenna or array of antennas designed to concentrate a radio signal in a particular area.

RF means Radio Frequency.

Screened means concealed from view with a sight obscuring fence, wall, or vegetation Service area means the area served by a single wireless or broadcast communication facility.

Speculation tower means an antenna support structure designed for the purpose of providing location mounts for wireless or broadcast communication facilities, without a binding written commitment or executed lease from a service provider to utilize or lease space on the tower at the time the application is submitted.

Stealth means facilities, including, but not limited to microcells, antennas, towers, equipment cabinets, and any other ancillary equipment that cannot be seen from any street or any nearby property, improved or unimproved, and/or that do not result in any apparent architectural changes or additions to existing buildings or telecommunication towers or alternative tower structures. The addition of landscaping, walls, fences, or grading as screening techniques does not make an otherwise visible facility a stealth facility.

Support structure means, inclusively, an alternative tower structure, tower and

CHAPTER 8 DEVELOPMENT REGULATIONS 121

telecommunications tower as those terms are specifically used in this chanter. Telecommunications means the transmission, between or among points specified by the user, of information of the user’s choosing, without change in the form or content of the information as sent and received.

Tower or telecommunications tower means any mast, pole, monopole, guyed tower, lattice tower, free standing tower, or other structure designed specifically for and primarily used to support antennas.

View Corridor means the route that directs the public or an observer’s attention when looking toward an object of significance to the community, including the Cascade Mountains, Smith Rock, and historic buildings.

Whip antenna means an antenna that transmits or receives signals in 360 degrees. Whip antennas are typically cylindrical in shape, less than 3 inches in diameter and no more than 6 feet long, including the mounting.

Wireless communication facility means any facility that transmits and/or receives electromagnetic waves, including, but not limited to, antennas, dish antennas, microwave antennas, panel antennas and other types of equipment for the transmission or receipt of such signals, including telecommunications towers and similar supporting structures, equipment cabinets or buildings, parking areas, and other accessory development. This definition does not apply to Amateur Radio Stations as defined by the Federal Communications Commission, Part 97 of the Commission’s Rules.

[Section 8.0410 deleted by Ord. #2011-13 passed November 8, 2011]

[Section 8.0410 added by Ord. #2011-13 passed November 8, 2011]

8.0415 Wireless Broadcast Communication Facilities. Wireless and Broadcast Communication Facilities shall be allowed in all zones within the City of Redmond subject to the applicable provisions of this Code, and as further restricted based on the chart below:

Zone:

All Residential (R) Zones - (R-1; R-2; R-3; R-4; and R-5)

Urban Holding -10 (UH-10) Zone

Public Facility (PF) Zoned Property adjacent to an R or UH-10 Park Zones property adjacent to an R or UH-10 zone

References/Standards

New wireless and broadcast communication facilities are prohibited unless the provider can demonstrate that one of the exceptions set forth under subsection 1 of this section is met.

In all zones Wireless and broadcast communications facilities shall be no closer than 660 feet to the rim of Dry Canyon

1. The provider shall demonstrate one of the following in conjunction with any application for a new wireless or broadcast communication facility proposed in any Residential Zone or the Urban Holding-10 Zone:

A. Subject to subsection (2) of this section, that there are no other options under this code to provide coverage because:

1. The proposed facility would fill a significant gap in coverage and no alternative locations are available and technologically feasible; or,

2. The proposed facility must be sited in a residential zone to prevent unreasonable discrimination in the application of this code among providers of functionally equivalent services; or,

B The facility is proposed as a collocation on an alternative tower structure and the additional components are designed as a stealth facility; or

CHAPTER 8 DEVELOPMENT REGULATIONS 122

C The facility is proposed to be collocated and is consistent with the provisions of section 8.0425 of this Chapter.

2. An applicant may demonstrate compliance with these standards either independently, through the provisions of Section 8.1700 of the City Land Use Procedures Ordinance (Declaratory Ruling), or in conjunction with a land use application for a new wireless or broadcast communication facility. In Declaratory Ruling cases, the Planning Commission shall be the Review Authority.

[Section 8.0415 deleted by Ord. #2011-13 passed November 8, 2011]

[Section 8.0415 added by Ord. #2011-13 passed November 8, 2011]

8.0420 Application Requirements. An applicant for a new wireless or broadcast communication facility shall submit the following information:

1. Neighborhood Meeting. Proof of a neighborhood meeting was conducted to provide an opportunity for the applicant to meet with surrounding property owners to discuss the proposal. See Section 8.0385 for meeting requirements.

2. If a wireless or broadcast communications facility is proposed within a Residential or Urban Holding Zone, the applicant must demonstrate the need for the new tower and why alternative locations and design alternatives, such as the use of alternative technology, cannot be used to meet the identified service objectives, pursuant to Section 8.0415 of this Chapter, unless the applicant demonstrates compliance with stealth design requirements on an existing tower or alternative tower structure as specified in Section 8.0425 of this Chapter.

3. A visual study containing, at a minimum, a vicinity map depicting where, within a halfmile radius, any portion of the proposed tower could be visible, and a photographic simulation showing the appearance of the proposed tower and accessory structures from two separate points within the impacted vicinity, accompanied by an assessment of potential mitigation measures. Such points are to be mutually agreed upon by the Community Development Director or the Community Development Director's designee and the applicant. The applicant shall include a map showing where the photos were taken The study shall show the maximum silhouette, view shed analysis, color and finish palette, and proposed screening for all components of the facility.

4. Documentation of the steps that will be taken to minimize the visual impact of the proposed facility, including but not limited to, the use of stealth technology, to minimize adverse aesthetic and visual impacts on the land, property and buildings adjacent to, surrounding, and in the general vicinity as the requested location of such facilities, using the least visually and physically intrusive facility that is not technologically or commercially impracticable under the facts and circumstances

5. The applicant shall include an inventory of all existing wireless and broadcast communication facilities within the Redmond City limits and the surrounding one (1) mile radius thereof, including ownership and information concerning the type of facility for each.

6. The applicant shall identify the geographic service area for the proposed facility, including a map showing all the applicant’s existing sites in the local service network associated with the gap the facility is meant to close. The applicant shall describe how this service area fits into and is necessary for the service provider’s service network. Prior to the issuance of any building permits, applicants for AM, FM, HDFM, TV, and DTV projects shall provide a copy of the corresponding FCC Construction Permit or license for the facility being built or re-located.

CHAPTER 8 DEVELOPMENT REGULATIONS 123

7. A feasibility study for the collocation of the wireless or broadcast communication facility as an alternative to a new structure. The feasibility study shall include:

A. Documentation of the efforts that have been made to collocate on existing or previously approved towers. Each applicant shall make a good faith effort to contact the owner(s) of all existing or approved towers and shall provide a list of all owners contacted in the area, including the date, form, and content of such contact.

B. Documentation as to why collocation on existing or proposed towers or location on an alternative tower structure is not practical or feasible. Collocation shall not be precluded simply because a reasonable fee for shared use is charged or because of reasonable costs necessary to adapt the existing and proposed uses to a shared tower or alternative tower structure. The City may consider expert testimony to determine whether the fee and costs are reasonable. Collocation costs exceeding new tower development are presumed to be unreasonable.

8. A report containing the following information:

A. A report from a licensed professional engineer documenting the following:

1. A description of the proposed tower height and design, including technical, engineering, and other pertinent factors governing selection of the proposed design. A cross-section of the proposed tower structure shall be included. If proposed tower is intended to accommodate future collocation, the engineer shall document that the design is sufficient for the purpose. If the proposed tower is not intended to allow for future collocation, the engineer shall provide an explanation of why it is not so intended.

2. The total anticipated capacity of the tower in terms of the number and types of antennae which can be accommodated. The engineer shall also describe any limitations on the ability of the tower to accommodate collocation. The engineer shall describe the technical options available to overcome those limitations and reasons why the technical options considered were not used.

3. Documentation from a licensed Professional Engineer that the proposed tower will have sufficient structural integrity for the proposed uses at the proposed location, in conformance with the minimum safety requirements of the State Structural Specialty Code, latest adopted edition at the time of the application.

B A description of mitigation methods which will be employed to avoid ice hazards, including increased setbacks, and/or de-icing equipment.

C. Documentation demonstrating compliance with non-ionizing electromagnetic radiation emissions standards as set forth by the Federal Communications Commission.

D. Evidence that the proposed tower will comply with all applicable requirements of the Federal Aviation Administration (FAA), the Aeronautics Section of the Oregon Department of Transportation, and the Federal Communications Commission (FCC).

E. A written narrative that describes in detail all of the equipment and components to be included in the facility, e.g., antenna(s) and arrays, equipment cabinet(s), back-up generator(s), air conditioning unit(s), lighting, fencing, etc.

F. Noise/Acoustical Information. Provide manufacturer’s specifications for all noisegenerating equipment such as air conditioning units and back-up generators, and a depiction of the equipment location in relation to adjoining properties.

CHAPTER 8 DEVELOPMENT REGULATIONS 124

G. A landscape plan drawn to scale that is consistent with the need for screening at the site. Existing vegetation that is to be removed must be clearly indicated and provisions for mitigation included where appropriate.

H. Show the designated driveway and vehicular circulation pattern for maintenance vehicles and equipment.

I. Construction. Describe the anticipated construction techniques and timeframe for construction or installation of the facilities. This narrative shall include all temporary staging and the type of vehicles and equipment to be used.

J. Lease. The site plan shall show the lease area of the proposed facility.

K. Lighting and Marking. Any proposed lighting and marking of the facility, including any required by the FAA.

L. FCC License. Provide a copy of the applicant’s FCC license and/or construction permit, if an FCC license and/or construction permit is required for the proposed facility, including documentation showing that the applicant is in compliance, both cumulatively and individually, with all the FCC’s RF emissions safety standards.

M. A description of anticipated long term maintenance needs, including frequency of service, personnel needs, equipment needs and potential safety impacts of such maintenance.

9. A written document addressing how the project satisfies the General Development Standards listed in section 8.0430, and the Approval Criteria listed in Section 8.0435(2) of this Chapter.

10. A Facility Maintenance Plan indicating: the number of days; hours of the day; duration; type of vehicles and equipment that will be utilized; and the anticipated noise, dust, and glare that will be associated with regular maintenance of the facility to ensure normal operation. Regular maintenance to ensure normal operation shall only occur between the hours of 7:00 am and 7:00 pm, Monday through Saturday (Sunday not permitted). Notwithstanding these restrictions, regular maintenance does not include unanticipated emergency situations of facility failure outside of normal facility maintenance hours specified herein and/or indicated in the Facility Maintenance Plan.

11. A copy of the report from the Federal Aviation Administration (FAA) indicating that FAA form 7460-1 has been filed with the FAA and that the proposal has no impact the Redmond Airport or its aircraft approaches.

12. The City may request any other information deemed necessary to fully evaluate and review the application and the potential impact of a proposed wireless or broadcast communications facility.

[Section 8.0420 deleted by Ord. #2011-13 passed November 8, 2011]

[Section 8.0420 added by Ord. #2011-13 passed November 8, 2011]

[Section 8.0420 amended by Ord #2016-17 passed January 31, 2017]

[Section 8.0420 amended by Ord. #2022-09 passed December 13, 2022]

8.0425 Collocation. In order to encourage shared use of towers and telecommunications towers inallzones, all new wireless and broadcast communication facilities proposed as collocated facilities shall comply with the following collocation standards, where applicable.

1. Except as allowed under subsection 2 of this section, all collocated towers shall be subject to the standards for new towers and the provisions of this section.

2. To encourage shared use of towers designed specifically for such purposes, no land use review process shall be required for the addition of antennae ten (10) feet or less in height on an existing, approved tower, or an increase in height of ten (10) feet or less to

CHAPTER 8 DEVELOPMENT REGULATIONS 125

an existing, approved tower, provided there is no change to the tower type. Nor shall a land use review process be required for accompanying accessory uses as long as such uses are screened from view within the existing facility enclosure. Notwithstanding these provisions, the applicant for any collocation shall submit a copy of the report from the Federal Aviation Administration (FAA) indicating that FAA form 7460-1 has been filed with the FAA and that the proposal has no impact on the Redmond Airport or its aircraft approaches. If additional antennae are added to a camouflaged tower, the antennae shall match the existing camouflaging. No tower shall be increased in height more than once from the original height as specified herein without being subject to land use permitting according to the same standards required herein for new towers.

3. All collocated facilities, and additions to existing towers, shall meet all requirements of the State of Oregon Structural Specialty Code, latest adopted edition. A building permit shall be required for such alterations or additions. Documentation shall be provided by a licensed professional engineer, verifying that changes or additions to the tower structure will not adversely affect the structural integrity of the tower.

4. All collocated facilities shall be designed in such a way as to be visually compatible with the tower structures on which they are placed.

5. All accessory equipment shall be located within the existing enclosure, shall not result in any exterior changes to the enclosure and, in Residential and Urban Holding zones, shall not include any additional above grade equipment structures.

6. Collocation on an alternative tower structure in a Residential or Urban Holding zone shall require a stealth design.

[Section 8.0425 deleted by Ord. #2011-13 passed November 8, 2011]

[Section 8.0425 added by Ord. #2011-13 passed November 8, 2011]

8.0430 General Development Standards. All new wireless and broadcast communication facilities shall be found to comply with the following standards

1. Visual Impact

A. Tower Height. Freestanding wireless and broadcast communication facilities shall be exempted from the height limitations of the zone in which they are located, except that in Residential and Urban Holding zones, no portion of the facility shall exceed fifty (50) feet in height, except where such facility is sited on an alternative tower structure. This exemption notwithstanding, the height and mass of the transmission tower shall be the minimum, which is necessary for its intended use, as demonstrated in a report prepared by a licensed professional engineer. A wireless or broadcast communication facility that is attached to an alternative tower structure shall not exceed the height of the alternative tower structure by more than ten (10) feet, except that for location or collocation on alternative tower structures in Residential or Urban Holding zones, no increase in height shall be allowed.

B. Visual Impact. The applicant shall demonstrate that the tower can be expected to have the least visual impact on the environment, taking into consideration technical, engineering, economic and other pertinent factors. The blocking or impairing of views from other properties shall be taken into consideration in the siting of a tower, and it shall be demonstrated that no other practicable alternative exists. The siting shall be made to minimize the effect on all view corridors, including reducing the height to only that which is needed to provide service. Towers clustered on the same site shall be of similar height and design, whenever possible, unless an existing tower does not conform with the standards

CHAPTER 8 DEVELOPMENT REGULATIONS 126

included in the Chapter, in which case the standards of this chapter shall apply to the new tower.

C. Paint and Finish.

1. A camouflage or stealth design that blends with the surrounding area shall be utilized for all wireless and broadcast communication facilities unless an alternative design is approved during the land use review process. If an alternative design is approved, all towers, antennae and associated equipment shall be painted a non-reflective, neutral color as approved through the review process. Attached communication facilities shall be painted so as to be identical to or compatible with the existing structure.

2. Towers more than 200 feet in height shall be painted in accordance with the Oregon State Aeronautics Division and Federal Aviation Administration rules. Applicants shall attempt to seek a waiver of OSAD and FAA marking requirements. When a waiver is granted, towers shall be painted and/or camouflaged in accordance with subsection “1”, above.

3. Where ancillary facilities are allowed under this code to be visible, they shall be colored or surfaced so as to blend the facilities with the surrounding natural and built environment, and where mounted on the ground shall be otherwise screened from public view or placed underground.

D. If approved in a Residential or Urban Holding zone, all equipment, and ancillary facilities necessary for the operation of and constructed as part of a wireless or broadcast communication facility shall be placed within an underground vault specific to the purpose. For facilities required to be approved as stealth facilities, no fencing around the wireless or broadcast communication facilities shall be allowed

E. Unenclosed storage of materials is prohibited.

F. Other building facilities, including offices, vehicle storage areas or other similar uses not necessary for transmission or relay functions are prohibited, unless a separate land use application for such is submitted and approved. Such other facilities shall not be allowed in Residential or Urban Holding zones

G. Stealth design shall be required for location or collocation on alternative tower structures in all Residential and Urban Holding zones

2. Site size.

A. The site on which a transmission tower is located shall be of a sufficient shape and size to provide adequate setbacks as specified below. Towers may be located on sites containing other principal uses in the same buildable area as long as all of the other general requirements of this ordinance are met.

B. Wherever possible, tower sites shall be large enough and structurally sufficient to allow for additional collocated and ancillary facilities, unless a finding is made by the City as part of the land use review process that the tower will not accommodate future collocation when considering requirements for visual screening. This standard shall not apply to antennae attached to existing structures or towers located on rooftops.

3. Separation and setbacks.

A. Freestanding wireless broadcast and communication facilities shall be set back from any other property line by a distance equal to or greater than the tower height unless this requirement is specifically waived during the permit review process by the City for purposes of mitigating visual impacts or improving compatibility with other uses on the property.

CHAPTER 8 DEVELOPMENT REGULATIONS 127

B. In order to ensure public safety, all wireless and broadcast communication towers located adjacent to any property designated as Residential or Urban Holding on the 2020 Greater Redmond Area Comprehensive Plan and Zone Map shall be set back from all such property lines by a distance at least equal to the height of the facility, including any antennas or other appurtenances. The setback shall be measured from that part of the tower that is closest to the neighboring residentially designated property.

C. Freestanding wireless and broadcast communication facilities located on sites containing other principal uses must maintain a minimum distance between the tower and other principal uses of the greater of 20% of the tower height or twenty-five (25) feet, unless during the permit review process this requirement is specifically waived by the City for purposes of mitigating visual impacts or improving compatibility with other uses on the property.

D. A guyed tower located on sites containing other principal uses must maintain a minimum distance between the tower and other principal uses of the greater of 100% breakpoint or twenty-five (25) feet unless this requirement is specifically waived by the City for purposes of mitigating visual impacts or improving compatibility with other uses on the property.

E. Towers and antennae mounted on alternative tower structures shall be exempt from these minimum separation requirements. However, wireless and broadcast communication facilities and related equipment may be required to be set back from the edge of the roof line in order to minimize their visual impact on surrounding properties.

F. Towers are prohibited in the required front yard, back yard, or side yard setback of any lot in any zone.

4. Lighting. No lighting shall be permitted on transmission towers except that required by the Oregon State Aeronautics Division or the Federal Aviation Administration

5. Signs. All signs are prohibited on wireless communication and broadcast facilities, except for one non-illuminated sign, not to exceed two (2) square feet, which shall be provided at the main entrance to the facility stating owner's name and address, and a contact name and phone number for emergency purposes

6. Security All wireless and broadcast communication facilities, other than those located or collocated on an alternative tower structure or otherwise required to be built as a stealth design, shall be enclosed by decay-resistant security fencing not less than six (6) feet in height. Fencing shall be compatible with other nearby fencing. Such requirements may be waived for attached wireless communication and broadcast facilities.

7. Landscaping. Landscaping shall be placed around the outside perimeter of the security fencing and shall consist of fast-growing vegetation that can be expected to reach a minimum height of six feet and form a continuous hedge within two years of planting. Drought tolerant landscaping materials shall be required, and applicant shall maintain a watering regimen until it is no longer necessary to ensure the continued survival of the landscaping. Trees and shrubs in the vicinity of guy wires shall be of a kind that would not exceed 20 feet in height and would not affect the stability of the guys should they be uprooted. Landscaping shall be compatible with other nearby landscaping. Continued maintenance of all landscaping is required and deemed the applicant’s responsibility and any approval shall be so conditioned.

8. Conflict with planned right-of-way. No wireless communication and broadcast facility shall be located within a planned or existing public right-of-way unless it is specifically designed for the purpose in a way that will not impede pedestrian or vehicular traffic.

9. A paved access driveway a minimum of 10 feet wide and a paved vehicular circulation

CHAPTER 8 DEVELOPMENT REGULATIONS 128

area suitable to accommodate anticipated service vehicles and turnaround shall be provided between the public right of way and the facility site. Facilities approved in Industrial zones may have unpaved driveways and vehicular circulation areas.

10. Pre-existing towers/non-conforming use. In order to encourage the collocation of antennae on existing towers, all wireless communication and broadcast facilities lawfully approved and operative prior to the adoption date of this ordinance shall be allowed to continue in use without being considered to be non-conforming uses. Any changes, modifications or replacement to/of an existing tower, or alternative tower structure, other than routine maintenance, shall comply with the requirements of this Chapter.

11. The project protects the functions and safety of the Redmond Municipal Airport by adherence to Federal Aviation Regulations (FAR) Part 77, Oregon Aeronautics Division's Administrative Rule 738-70-010 through 738-70-260, "Physical Hazards to Air Navigation," and the Redmond Airport Master Plan.

12. Speculation tower. No application shall be accepted or approved for a speculation tower as defined in this Section unless the applicant submits a binding written commitment or executed lease from a service provider to utilize or lease space on the tower.

13. If the City of Redmond approves a new tower, the owner of the tower improvement shall, as conditions of approval, be required to:

A. Record all conditions of approval specified by the City with the Deschutes County Clerk/Recorder;

B. Respond in a timely, comprehensive manner to a request for information from a potential shared use applicant;

C. Negotiate in good faith with any potential user for shared use of space on the tower;

D. The above conditions, and any others required by the City, shall run with the land, and be binding on subsequent purchasers of the tower site and/or improvement; and,

E. A person/entity who/which deems himself/herself/itself aggrieved by the failure of a tower owner to respond in a timely and comprehensive manner or negotiate in good faith for shared use of a tower approved by the City under this ordinance or any previous iteration of this ordinance, shall have a private right of action for damages for injury sustained by the party which was caused by the failure of the owner of the tower to so respond or negotiate in good faith as required by this section. In the resulting private litigation/mediation/arbitration, the prevailing party shall be entitled to have his/her/its reasonable attorney fees paid by the nonprevailing party at the trial level and upon appeal.

[Section 8.0430 deleted by Ord. #2011-13 passed November 8, 2011]

[Section 8.0430 added by Ord. #2011-13 passed November 8, 2011]

[Section 8.0430 amended by Ord. #2020-15 passed November 10, 2020]

8.0435 Review Process and Approval Criteria. The following procedures shall be applicable to all new wireless and broadcast communication facility applications as specified in the Section:

1. All new wireless and/or broadcast communication facilities shall be reviewed under this chapter. Applications for new wireless and broadcast communication facilities shall be processed in accordance with the provisions of this section, and the City of Redmond Land Use Procedures Ordinance (Article II of Chapter 8 of the City of Redmond Code; Sections 8.1000 through 8.1720 as applicable).

CHAPTER 8 DEVELOPMENT REGULATIONS 129

2. Approval Criteria. The City shall approve the application for a wireless or broadcast communication facility on the basis that the proposal complies with the General Development Standards listed in section 8.0430 above, and upon a determination that the following criteria are met:

A. The location is the least visible of other possible locations and technological design options that achieve approximately the same signal coverage objectives.

B. The location, size, design, and operating characteristics of the proposed facility will be compatible with adjacent uses, residences, buildings, and structures, with consideration given to:

1. Scale, bulk, coverage, and density;

2. The harmful effect, if any, upon neighboring properties;

3. The suitability of the site for the type and intensity of the proposed facility; and

4. Any other relevant impact of the proposed use in the setting where it is proposed (i.e., noise, glare, traffic, etc).

C. All required public facilities and services have adequate capacity as determined by the City, to serve the proposed wireless or broadcast communication facility; and

3. The City may impose any other reasonable condition(s) deemed necessary to achieve compliance with the approval standards, including designation of an alternate location, or if compliance with all of the applicable approval criteria cannot be achieved through the imposition of reasonable conditions, the application shall be denied.

4 Notwithstanding any other provisions of this Code, the Redmond City Council may establish fees in amounts sufficient to recover all of the City’s costs in reviewing applications filed pursuant to this Chapter, including retaining independent telecommunication or other professional consultants as may be necessary to review and evaluate any evidence offered as part of an application. Such fee may be imposed during the review of an application as deemed appropriate by the City Planning Department.

[Section 8.0435 deleted by Ord. #2011-13 passed November 8, 2011]

[Section 8.0435 added by Ord. #2011-13 passed November 8, 2011]

8.0440 Exemptions. The following shall be considered exempt structures or activities under this Chapter:

1 Whip or other similar antennas no taller than 6 feet with a maximum diameter of 2 inches.

2. Antennas (including direct-to-home satellite dishes, TV antennas, and wireless cable antennas) used by viewers to receive video programming signals from direct broadcast facilities, broadband radio service providers, and TV broadcast stations regardless of zone category.

3. Low-powered networked telecommunications facilities such as microcell radio transceivers located on existing utility poles and light standards within public right-ofway. Low-powered networked telecommunications facilities shall comply with this Chapter of the Development Code.

4. All military, federal, state, and local government communication facilities except for towers in residential zones.

5. Cell on Wheels (COW), which are permitted as temporary uses in nonresidential zones for a period not to exceed 14 days, or during a period of emergency as declared by the City, County, or State.

CHAPTER 8 DEVELOPMENT REGULATIONS 130

6. Replacement antennas and/or equipment, provided the replacement antennas and/or equipment have a function similar to the replaced antenna and/or equipment and do not exceed the overall size of the original antenna and/or equipment.

7. Amateur Radio Stations as defined by the Federal Communications Commission, Part 97 of the Commission’s Rules.

[Section 8.0440 deleted by Ord. #2011-13 passed November 8, 2011]

[Section 8.0440 added by Ord. #2011-13 passed November 8, 2011]

[Section 8.0400 amended by Ord. #2016-17 passed January 31, 2017]

8.0445 Maintenance. The following maintenance requirements apply to all facilities and shall be required as conditions of approval, where applicable:

1. All landscaping shall be maintained at all times and shall be promptly replaced if not successful.

2. If a flagpole is used for camouflaging a facility, flags must be flown and must be properly maintained at all times.

3. All wireless and broadcast communication facility sites shall be kept clean, free of litter and noxious weeds.

4. All wireless and broadcast communication facility sites shall maintain compliance with current RF emission standards of the FCC, the National Electric Safety Code, and all state and local regulations.

5. All equipment cabinets shall display a legible operator’s contact number for reporting maintenance problems.

6. The owner/operator of the facility shall submit a yearly maintenance report to the Planning Division indicating that all statements of operation as specified in the land use application, including the Facility Maintenance Plan required by Section 8.0420 (10), and all conditions of approval are being complied with and met.

[Section 8.0445 deleted by Ord. #2011-13 passed November 8, 2011]

[Section 8.0445 added by Ord #2011-13 passed November 8, 2011]

[Section 8.0445 amended by Ord. #2016-17 passed January 31, 2017]

8.0450 Abandoned Facilities.

1. All operators who intend to abandon or discontinue the use of any wireless or broadcast communication facility shall notify the City of such intentions no less than 60 days prior to the final day of use.

2. Wireless or broadcast communication facilities shall be considered abandoned 90 days following the final day of use or operation.

3. All abandoned facilities shall be physically removed by the facility owner no more than 90 days following the final day of use or of determination that the facility has been abandoned, whichever occurs first.

4. In the event that an owner discontinues use of a wireless communication and broadcast facility for more than ninety (90) days, the City may declare the facility abandoned and require the property owner to remove it. An abandoned facility may be declared a nuisance subject to the abatement procedures of City of Redmond Code Chapter 5.350 and 5.351. Delay by the City in taking action shall not in any way waive the city's right to take action. Upon written application prior to the expiration of the ninety (90) day period, the Community Development Director may grant a six-month extension for reuse of the facility. Additional extensions beyond the first six-month extension may be granted by

CHAPTER 8 DEVELOPMENT REGULATIONS 131

the City subject to any conditions required to bring the project into compliance with current law(s) and make compatible with surrounding development.

5. Any abandoned site shall be restored to its natural or former condition. Grading and landscaping in good condition may remain.

6. The applicant shall submit a cash deposit to be held by the City as security for abatement of the facility as specified herein. The cash deposit shall be equal to 120% of the estimated cost for removal of the facility and restoration of the site. Cost estimates for the removal shall be provided by the applicant based on an independent, qualified engineer’s analysis and shall be verified by the City. Upon completion of the abandonment of the facility by the applicant as specified by this section, and inspection by the City, the entirety of the cash deposit shall be returned to the applicant.

7. The applicant for a new wireless or broadcast communication facility shall provide an affidavit, signed by the property owner, indicating that the owner has read, and understands Section 8.0445 (1-5), above.

[Section 8.0450 deleted by Ord. #2011-13 passed November 8, 2011]

[Section 8.0450 added by Ord. #2011-13 passed November 8, 2011]

8.0455 Existing Vegetation.

[Section 8.0455 deleted by Ord. #2011-13 passed November 8, 2011]

8.0460 Landscaping.

[Section 8.0460 deleted by Ord. #2011-13 passed November 8, 2011]

8.0465 Accessory Uses.

[Section 8.0465 deleted by Ord. #2011-13 passed November 8, 2011]

8.0470 Comprehensive Plan.

[Section 8 0470 deleted by Ord. #2011-13 passed November 8, 2011]

8.0475 Agency Coordination.

[Section 8.0475 deleted by Ord. #2011-13 passed November 8, 2011]

8.0480 Supported Antenna Approval Criteria.

[Section 8.0480 deleted by Ord. #2011-13 passed November 8, 2011]

8.0485 Antenna Height and Setback.

[Section 8.0485 deleted by Ord. #2011-13 passed November 8, 2011]

8.0490 Non-Conforming Towers and Antennas.

[Section 8.0490 deleted by Ord. #2011-13 passed November 8, 2011]

CHAPTER 8 DEVELOPMENT REGULATIONS 132

OFF-STREET PARKING & LOADING REQUIREMENTS

8.0500 Off-Street Parking. Parking space requirements are based on the following standards according to the use (note: all required handicapped parking is included in the calculation derived parking standards). Manufacturing, warehousing, and other industrial uses may base the number of required parking spaces on the number of employees. When the number of employees is specified, persons counted shall be those working on the premises, including proprietors, during the largest shift at peak season.

133
CHAPTER 8 DEVELOPMENT REGULATIONS
Land use Standard Residential All residential uses within the Downtown Overlay District 1 space per Dwelling Unit (DU). Bed and Breakfast 1 space / bedroom Boarding House 1 space / bedroom Caretake living on-site 2 spaces / DU Cottage Clusters / Cottage Developments 1 space / cottage Duplex 1 space / DU Guest Houses 1 space / Guest House Homeless Shelter .5 space / room, 1 space / employee or service provider (fullest shift) Multi Family Complex (Apartments) 1 spaces / 10 DU; 1 space / Mgr. Plus Studio < 600 sf 1 space / DU Studio > 600 sf / 1 bedroom 1.5 space / DU (1space per Affordable Housing DU) 2 bedrooms 1.75 spaces / DU (1.5 spaces per Affordable Housing DU) 3 or more bedrooms 2 spaces / DU Senior Housing Developments (55+ communities) 1 space / DU (0.75 space per Affordable Housing DU) Residential Care Facility (6 or more residents) .5 space / room, 1 space / employee (fullest shift) Residential Care Home (5 or less residents) 2 spaces Single Family Detached Dwelling 2 spaces / DU Townhouse 1 space / DU Triplex and Quadplex 1 space / DU Commercial/Industrial All Downtown Overlay District Commercial and Public Facility Uses 1 space per 500 net square feet of building area Amusement Park 20 spaces per acre Arena (Indoor Sports) 1 space per 4 seats Auto Sales (New and Used0 & Rentals 1 space per sales office or cubicle Auto Service 1 space per service bay Bulky Retail (including RVs, Furniture) 1 space per 600 s.f. of retail floor area Child Care, Day Nursery 1 space per employee; designated pick area required Commercial, Service, Repair 1 space per 600 s.f of retail floor area Contractor's Yard 1 space per employee or 1 space per 200 s.f of office area Driving Range 1 space per driving cage + 1 space per employee

CHAPTER 8 DEVELOPMENT REGULATIONS

Eat and Drinking Establishment

Eating and Drinking Establishment (within MUN and MUE zone)

1 space per 100 s.f of net square footage

The first 1,000 square feet of total floor area is exempt from the parking standards. 4 spaces per 1,000 s.f. total floor area for buildings over 1,000 total square feet in floor area. Common parking may be provided in lieu of on-site parking subject to Section 8.0505 (12) Off-Street Parking and Loading Standards.

Equipment Rental

Equipment Sales and Services

Espresso Stand or Booth

Golf Course

Gymnasium, Fitness Center, Spa

Industrial, General

Industrial, Service related

Kennel

Manufacturing and Assembly

Mini Storage

1 space per 600 s.f of retail floor area

1 space per 600 s.f of retail floor area

1 space per employee

100 spaces per 18 holes / 50 spaces per 9 holes

1 space per 300 s.f of net square footage

1 space per 800 s.f

1 space per 800 s.f

1 space per employee, plus 2 spaces for public

1 space per 600 s.f

1 space per employee, plus 3 guest spaces - Interior aisles must be paved/used for unloading.

The first 1,000 square feet of total floor area is exempt from the parking standards in the MUN zone, not in the MUE zone. Two (2) spaces for the first 1,000 s.f. of net floor area or fraction thereof and 1 space for each 500 s.f. thereafter. Common parking may be provided in lieu of on-site parking subject to Section 8.0505 (12) Off-Street Parking and Loading Standards. Mobile/Manufacturing

Mixed Use (within MUN and MUE zone), structures containing more than one principal use

1 space per employee, plus 4 spaces for public

1 space per room, plus 1 space for mgr.

1 space per 300 s.f of net office floor area Office (within MUN and MUE zone)

The first 1,000 square feet of total floor area is exempt from the parking standards in the MUN zone, not in the MUE zone. 2 spaces for the first 1,000 s.f. of net floor area or fraction thereof and 1 space for each 500 s.f. thereafter. Common parking may be provided in lieu of on-site parking subject to Section 8.0505 (12) Off-Street Parking and Loading Standards.

Recreation, Indoor Commercial

Recreation, Outdoor Commercial

Retail, General

Retail (within MUN and MUE zone)

1 space er 4 seats

20 spaces per acre

1 space per 200 s.f of retail floor area

The first 1,000 square feet of total floor area is exempt from the parking standards. 2 spaces per 1,000 s.f. total floor area for buildings over 1,000 total square feet in floor area. Common parking may be provided in lieu of on-site parking subject to Section 8.0505 (12) Off-Street Parking and Loading Standards

Shopping Center

Telemarketing / Call Center

Theater, Walk-in

1 space per 250 s.f of floor area

For centers with 5+ tenants & mixed uses

1 space per employee, plus 5 guest spaces

1 space per 4 seats

134
Home Sales & Service
1 space per 600 s.f of office area Mortuary or Funeral Home
Motel,
Hotel
Office

CHAPTER 8 DEVELOPMENT REGULATIONS

[Section 8.0500 amended by Ord. #2009-04 passed April 28, 2009]

[Section 8.0500 amended by Ord. #2009-03 passed May 26, 2009]

[Section 8.0500 amended by Ord. #2020-15 passed November 10, 2020]

[Section 8.0500 amended by Ord. #2022-04 passed June 28, 2022]

[Section 8.0500 amended by Ord. #2022-09 passed December 13, 2022]

8.0505 Off-Street Parking and Loading. General provisions are as follows:

1. The provisions and maintenance of off-street parking and loading spaces is the continuing obligation of the property owner. Should the owner or occupant of any lot or building change the use to which the lot or building is sited, thereby increasing off-street parking, or loading requirements, this section must then be complied with. Businesses within the Central Business District (C-2 zone) and Downtown Overlay District (DOD) shall be exempt from this provision if there is an existing building on the subject site that prevents the addition of on-site parking. Expansions of buildings in the C-2 and DOD zone must comply with this section.

2. Requirements for types of buildings and uses not specifically listed in these standards shall be determined by the Community Development Director, or designee, based upon the requirements for comparable uses listed.

3. In the event that several uses occupy a single structure or parcel of land, the total requirements for off-street parking shall be the sum of the net floor area requirements of the several uses computed separately.

4. Owners of two or more uses, structures or parcels of land may agree to utilize jointly the same parking and loading spaces when the hours of operation do not overlap; provided

135 Truck Stop
space
per employee if no food served) Veterinarian
spaces per DVM Warehouse 1 space per 1000 s.f Public and Semi-Public Uses Church, Religious Institution
space per 4 seats Convention Center
space per 4 seats Hospital
space per employee,
(office/outpatient stalls
separately) Lodge, Club, Non-Profit/Frat Org. 1 space per 4 seats Park (public or private) 5 spaces per acre Public Recreation Facility/Community Center 1 space per 300 s.f of net square footage Public Transportation Station 1 space per 1000 s.f (enclosed) RV Park (public or private) 1 auto + 1 RV space for
place + 5 guest spaces (each RV space
30'
Schools (public or private): Elementary 3 spaces per classroom Middle School 4 spaces per classroom High School 8 spaces per classroom College
space per employee + 1 space per 2 students Trade School, Adult Training 1 space per employee + 1 space per student Utility Facility 1 space
1
per 100 s.f eating area (or 1 space
2
1
1
1.75
plus 1.5 spaces per bed
are calculated
each design. RV
shall be at least
long)
1

that satisfactory legal evidence is presented to the City in the form of deeds, leases, or contracts to establish the joint use.

5. Off-street parking spaces for Dwelling Units (DU) shall be located on the same parcel with those dwellings, or written contract of agreement shall be provided to the City that expressly permits shared use of parking areas which are off-site.

6. All required parking spaces shall be located not farther than 300 feet from the building or use they are required to serve, measured in a straight line from the building unless approved by the City Engineer.

7. Required parking spaces shall be available for the parking of passenger automobiles of residents, customers, patrons, and employees only, and shall not be used for storage of vehicles or materials or for the parking of trucks used in conducting the business or use.

8. In any zone, every building having a gross floor area of 10,000 square feet or more, which is to be occupied for: manufacturing, storage, warehousing, retail sales, hotel, hospital, laundry, dry cleaning establishment, or other uses similar requiring the receipt or distribution by vehicles, materials or merchandise, shall provide one off-street loading berth, plus one additional loading berth for each additional 20,000 square feet of gross floor area. Each loading berth shall be provided with paved access, driveways and surfacing in the same manner as for off-street parking, except that each space shall be 10 feet wide and 22 feet long with a height clearance of at least 14 feet. A sightobscuring screen, berm, or landscaping shall conceal all loading areas from view from public streets or roads.

9. Interior loading docks, or loading areas or docks located inside buildings, shall be considered as being screened when securable by a powered overhead door that totally encloses the opening for vehicles being loaded / unloaded.

10. Loading and unloading of merchandise, equipment, etc. shall not be permitted from public streets or roads.

11 Common Parking Areas shall conform to city standards and shall be located within 220 feet of the land use.

[Section 8.0505 amended by Ord. #2016-17 passed January 31, 2017]

[Section 8.0505 amended by Ord. #2020-15 passed November 10, 2020]

[Section 8.0505 amended by Ord. #2022-04 passed June 28, 2022]

[Section 8.0505 amended by Ord. #2022-09 passed December 13, 2022]

8.0510 Design and Improvement Standards for Parking Lots. The design and improvement standards for parking lots are:

1. Vehicle Parking Space Sizes and Bicycle Parking Requirements.

A. Each regular sized parking space or stall shall be governed by the requirements of Section 8.0515 and shall have a minimum width of 9 feet and a minimum length of 20 feet; must be individually accessible, paved, and shall be continuously maintained by the property owner.

B. If desired by the applicant / owner, each compact parking space or stall shall be a minimum width of 8 feet and a minimum length of 18 feet.

C. A maximum of 30% compact spaces is permitted as required parking.

D. A securable parking space shall be provided for bicycles for each new commercial use. Credit for 1 vehicular parking space shall be given for each 5 bicycle parking spaces (up to 10 bicycle parking spaces / 2 vehicular parking spaces credit possible). However, parking lots containing fewer than 10 vehicular spaces are not eligible for credits, except in the MUN and MUE zone. Also,

CHAPTER 8 DEVELOPMENT REGULATIONS 136

bicycle spaces shall not replace more than 20% of the required parking under any circumstance.

2. Except for parking in connection with single family detached dwellings or middle housing, parking and loading areas adjacent to or within a residential zone or adjacent to any dwelling shall be screened with a sight-obscuring fence or planted screen of not less than three feet in height.

3. Parking spaces between pavement and landscaping shall be contained by a bumper rail or by a curb which is at least four inches high, and which is set back a minimum of one and one-half feet from the property line.

4. Exterior Artificial lighting of any type shall not shine or create glare in any dwelling, property, or onto any public right of way.

5. Access aisles shall be of sufficient width to permit easy turning and maneuvering. In no case shall access aisles be less than 20' in width. Any access aisle less than 24' in width shall provide “no parking / fire lane” striping or signage, or curbs painted red for “no parking”. Further, any access aisle being used as backup room for parking spaces shall be no less than 24' wide.

6. Groups of more than two parking spaces shall be so located and served by a driveway so that their use will require no backing movements or other maneuvering within a street right-of-way, other than an alley, unless approved by the City Engineer. Single family detached dwelling and middle housing type are exempt from this standard.

7. Service drives to off-street parking areas and internal access aisles shall be designed and constructed both to facilitate the flow of traffic and to provide maximum safety for vehicles and pedestrians. Pedestrian pathways shall be clearly differentiated from vehicular drive aisles on site and may be required to be physically separated from vehicular drives or aisles to ensure pedestrian safety. The number of service drives shall be limited to the minimum that will accommodate anticipated traffic.

8 Driveways shall have a minimum vision clearance area as described within RDC section 8.0305 and 8.0310, “Clear Vision areas”.

9. The following standards shall apply to parking within industrial zones:

A Parking shall not be allowed within 10 feet of a front yard property line or 5 feet of a side yard property line.

B. Parking shall not be allowed on collectors or arterials when industrial zoning is contiguous to said street.

[Section 8.0510 amended by Ord. #2009-03 passed May 26, 2009]

[Section 8.0510 amended by Ord. #2020-15 passed November 10, 2020]

[Section 8.0510 amended by Ord. #2022-04 passed June 28, 2022]

8.0515 Parking Table and Diagram. The following table and diagram provides the minimum dimensions of public or private parking areas based on the diagram on the same page where "A" equals the parking angle, "B" equal the stall width, "C" equals the minimum stall depth, "D" equals the minimum clear aisle width, "E" equals the stall distance at bay side, "F" equals the minimum clear bay width and "G" is the maximum permitted decrease in clear aisle width for private parking areas.

PARKING TABLE:

CHAPTER 8 DEVELOPMENT REGULATIONS 137
A B C D E F G PARALLEL 0" 12.0 22.0 20.0 2 20O 8'0" 13.6 11.0 23.4 24.6 1

CHAPTER 8 DEVELOPMENT REGULATIONS

[Section 8.0515 amended by Ord. #2016-17 passed January 31, 2017]

138 8'6" 14.1 11.0 24.9 25.1 9'0" 14.6 11.0 26.3 25.6 10'0" 15.5 11.0 29.2 26.5 30O 8'0" 16.0 11.0 16.0 27.0 1 8'6" 16.4 11.0 17.0 27.4 9'0" 16.8 11.0 18.0 27.8 9'6" 17.3 11.0 19.0 28.3 10'0" 17.7 11.0 20.0 28.7 45O 8'0" 18.4 14.0 11.3 32.4 3 8'6" 18.7 13.5 12.0 32.2 9'0" 19.1 13.0 12.7 32.1 9'6" 19.4 13.0 13.4 32.4 10'0" 19.8 13.0 14.1 32.8 60O 8'0" 19.7 19.0 9.2 38.7 3 8'6" 20.0 18.5 9.8 38.5 9'0" 20.3 18.0 10.4 38.3 9'5" 20.5 18.0 11.0 38.5 10'0" 20.8 18.0 11.5 38.8 70O 8'0" 19.8 20.0 8.5 39.8 3 8'6" 20.1 19.5 9.0 39.6 9'0" 20.4 19.0 9.6 39.4 9'6" 20.6 18.5 10.1 39.1 10'0" 20.9 18.0 10.6 38.9 80O 8'0" 19.2 25.0 8.1 44.2 3 8'6" 19.3 24.0 8.6 43.3 9'0" 19.4 24.0 9.1 43.4 9'6" 19.5 24.0 9.6 43.5 10'0" 19.6 24.0 10.2 43.6 90O 8'0" 18.0 26.0 8.0 44.0 3 8'6" 18.0 25.0 8.5 43.0 9'0" 18.0 24.0 9.0 42.0 9'6" 18.0 24.0 9.5 42.0 10'0" 18.0 24.0 10.0 42.0
CHAPTER 8 DEVELOPMENT REGULATIONS 139

EXCEPTIONS

8.0550 Exception to Lot Size Requirements. If a lot or the aggregate of contiguous lots or parcels platted prior to the effective date of these standards has an area or dimension which does not meet the requirements of these standards, the lot or aggregate holdings may be put to use permitted subject to the other requirements of the zone in which the property is located. Lots that are pre-existing in residential zones that are below the minimum size for a single-family dwelling shall be limited to one single family dwelling per lot.

[Section 8.0550 amended by Ord. #2020-15 passed November 10, 2020]

8.0555 Exception to Yard Requirements. The Hearings Body may increase the yard requirement when a yard abuts a street which the City has designated for future widening. A lesser front yard may be allowed when structures on abutting lots do not meet the front yard requirements of the zone in which it is located.

[Section 8.0555 amended by Ord. #2020-15 passed November 10, 2020]

8.0557 Exception to Building Setback Requirements. Any parcel of land or portion thereof which is taken by or is dedicated to a public or semi-public entity for a road, canal, railroad, utility, or other public use shall be exempt from the building setback requirements set forth by the Redmond Development Code standards when such dedication of land reduces a setback for an existing building or structure. Such setback shall be treated as a non-conforming setback by the City and shall be subject to those Code regulations and provisions that regulate non-conforming uses.

8.0560 Exception to Yard and Height Requirements for Detached Non-Habitable Accessory Buildings.

[Section 8.0560 deleted by Ord. #2016-17 passed January 31, 2017]

8.0565 Exception to Building Height Limitations. Except for the FAA aviation requirements set forth in Federal Law, the following types of structures or structural parts are not subject to the building height limitations prescribed in Sections 8.0100-8.0295: architectural elements used for roofs, art, chimneys, church spires, clock towers, belfries, domes, monuments, fire and hose towers, observation towers, flag poles, air traffic navigational equipment, cooling towers, elevator shafts and other similar projections. Prior to construction of these structures or structural parts, a site plan shall be required in accordance with Site & Design Review Standards unless exempted by Code, or at the discretion of the Community Development Director, or Hearings Body.

[Section 8.0565 amended by Ord. #2020-15 passed November 10, 2020]

[Section 8.0565 amended by Ord. #2022-04 passed June 28, 2022]

8.0570 Divided Legal Lots and Parcels. A single legal lot or parcel of record may be considered as a divided lot or parcel for the purposes of these standards if it is divided by a major irrigation canal, railroad, or major topographic feature, or by a city, county, state, or federal road. No right-of-way width less than 50 feet shall constitute an effective division. A newly divided lot or parcel that is sought due to the constraints established herein must be created through the partition or subdivision process. If the

CHAPTER 8 DEVELOPMENT REGULATIONS 140

land division is the result of a city condemnation, then no planning fee shall be assessed.

8.0575 Special Exceptions to Lot Size Requirements.

1. Any parcel of land or portion thereof, which is required to dedicate a public or semipublic road, canal, railroad, utility, or other public use, shall be exempt from the minimum lot size requirements set forth by these standards, unless part of a proposed subdivision.

2. For partitions involving parcels located in residential areas platted before the effective date of the current minimum lot size standards and abutting lots or parcels of substandard size under the current minimum lot size standards, an exception to the minimum lot size in the zone may be allowed if the following criteria are met:

A. The minimum lot size for a parcel created pursuant to this exception shall be equal to or greater than the smallest lot area of the lots or parcels abutting the parent parcel.

B. The exception provides for adequate provision of light, air, and privacy to abutting properties. This section does not exempt solar setbacks from being applied for any lot created under these provisions (where applicable).

C. The exception provides for the preservation of natural features, where appropriate.

D The exception will have minimal adverse impact on the livability, value or development of abutting properties and the surrounding area.

[Section 8.0575 amended by Ord. #2022-04 passed June 28, 2022]

CHAPTER 8 DEVELOPMENT REGULATIONS 141

CONDITIONAL USES

8.0600 Authorization to Grant or Deny Conditional Uses. Uses designated herein as conditional uses may be permitted upon authorization by the Hearings Body in accordance with the standards and procedures established in this article. Before approving an application for a conditional use, the Hearings Body shall find the following criteria are either met, can be met by observance of conditions, or are not applicable:

1. The proposed use will be consistent with the Comprehensive Plan, the zoning ordinances and other applicable ordinances and standards of the City.

2. The location, size, design, and operating characteristics of the proposed use will have minimal adverse impact on the livability, value, or approximate development of abutting properties and the surrounding area.

3. The proposed use will not exceed operational capacity of City infrastructure including sewage system, water system or the transportation system.

4. That the proposed use will not conflict with, diminish, or substantially adversely affect the character and nature of the established neighborhood in which it is located.

[Section 8.0600 amended by Ord. #2020-15 passed November 10, 2020]

8.0602 Neighborhood Meeting. Proof a neighborhood meeting was conducted for residential or mixed use development proposals that generate 200 or more daily trip ends, or 20 or more p.m. peak hour trip ends, where a Transportation Impact Analysis (TIA) is required, See Section 8.0385 for meeting requirements.

[Section 8.0602 added by Ord #2022-09 passed December 13, 2022]

8.0605 General Conditions. In addition to the ordinances set forth in a specific zone, this article, and other applicable standards and criteria used in addressing a new conditional use or the alteration of an existing conditional use, the Hearings Body may impose conditions which it finds necessary to avoid an unacceptable impact and to otherwise protect the best interests of the surrounding area or the City. These conditions may include the following:

1. Limiting the way the use is conducted including restricting the time an activity may take place and establish conditions or restraints that will minimize such environmental effects as noise, vibration, air pollution, glare, and odor. The City may require additional proof from the applicant that quantifies compliance with this requirement at the time of application submittal.

2. Establishing an open space or recreation area.

3. Limiting the height, size, or location of a building or other structure(s).

4. Designating the size, number, location, and nature of vehicle access points.

5. Increasing the amount of street dedication, roadway width or improvements within the street right-of-way, including (but not limited to) lighting and landscaping improvements. Any oversizing of public infrastructure that is required by the City that exceeds minimum City standards may be a candidate for SDC credits at the discretion of the City Engineer or designate.

6. Designating the size, location, screening, landscaping, drainage, surfacing, or other improvement within a parking area or loading zone.

7. Limiting or otherwise designating the number, size, location, height, and lighting of signs.

CHAPTER 8 DEVELOPMENT REGULATIONS 142

8. Limiting the location and intensity of outdoor lighting and requiring it’s shielding from any adjacent properties, or public or private streets and roads.

9. Requiring diking, screening and/or landscaping of a facility to protect adjacent or nearby property and designating standards for its installation and maintenance.

10. Designating the size, height, location, and materials for a fence.

11. Protecting and preserving existing trees, vegetation, or other significant natural resources.

[Section 8.0605 amended by Ord. #2020-15 passed November 10, 2020]

8.0610 Permit and Improvements Assurance. The Hearings Body may require an applicant to furnish the City with a performance bond, cash deposit, or equivalent deemed necessary to guarantee development in accordance with these standards and the conditions attached in granting a conditional use permit. Such assurance shall be accepted at the discretion of the City Finance Director or designate.

8.0615 Standards Governing Conditional Uses. A conditional use shall comply with the standards and criteria of the zone in which it is located and with the standards and criteria set forth in this section and in sections 8.0600 and 8.0605.

1. Airports, aircraft landing fields, aircraft charter, rental, service, and maintenance facilities not located in an Airport Control Zone: The Hearings Body shall find that the locations and site design of the proposed facility will not be hazardous to the safety and general welfare of surrounding properties, nor that the location will unnecessarily restrict existing and future development of surrounding lands as designated by the Comprehensive Plan.

2. Automobile recycling, wrecking yard, or junk yard: In considering a conditional use application for an automobile recycling facility, wrecking yard or junk yard, the Hearings Body shall require that the facility or yard be enclosed and screened from public view by a sight obscuring and well maintained fence not less than six feet in height. All personal property shall remain inside the fence If applicable, the Hearings Body shall be assured that the proposed use is in conformance with applicable State regulations.

3 Bed and Breakfasts: A bed and breakfast shall comply with the following provisions:

A. All new construction or conversions of existing structures to a Bed and Breakfast require Site and Design Review.

B. All such uses are in conformance with applicable, City Sign Standards

C. All such uses shall have a maximum of 5 guest suites.

D. All such uses shall provide one parking space per guest suite in addition to the residential use requirement of two spaces.

E. All such uses provide parking areas to be screened as per design review standards.

4. Cemeteries: The Hearings Body shall require evidence and shall find that the terrain and soil types of a proposed location are suitable for interment, and that the nature of the subsoil and drainage will not have a detrimental effect of ground water sources or domestic water supplies in the area of the proposed use.

5. Church, hospital, and other public / semi-public uses:

A. Such uses may be authorized as a conditional use only after consideration of the following factors:

CHAPTER 8 DEVELOPMENT REGULATIONS 143

1. Adequacy of access to and from principal streets together with the probable effect of the traffic volumes on abutting and nearby streets, and mitigation of associated impacts.

a. Such uses or related buildings shall be at least 30 feet from a side or rear lot line when abutting a residential use.

b. Adequate off-street parking.

c. Adequate building and site design provisions to minimize noise and glare from the building and site.

B. Such uses may be built to exceed the height limitations of the zone in which it is located to a maximum of 50 feet if the total floor area of the building does not exceed the area of the site and if the yard dimensions in each case are equal to at least two-thirds of the height of the principal structure.

6. Commercial use or accessory use not wholly enclosed within a building. In any zone permitting a commercial use or accessory use not wholly enclosed within a building the use may be permitted as a conditional use subject to the following standards:

A. A sight obscuring fence or evergreen hedge may be required by the Hearings Body when in its judgment, such a fence or hedge combination thereof is necessary to preserve the values of nearby properties or to protect the aesthetic character of the neighborhood or vicinity.

B. In addition to the requirements of the applicable zone, the Hearings Body may further regulate the placement and design of signs and lights in order to preserve the values of nearby properties; to protect them from glare, noise, or other distractions; or to protect the aesthetics character of the neighborhood or vicinity.

C. In order to avoid unnecessary traffic congestion and hazards, the Hearings Body may limit access to the property.

7. A retail establishment, office, service commercial establishment, financial institution, or personal or business service establishment on a lot abutting or across the street from a lot in a residential zone. In any zone permitting a commercial use such as a retail establishment, office, service commercial establishment, financial institution, or personal or business service establishment on a lot abutting or across the street from a lot in a residential zone, the use may be permitted as a conditional use subject to the following standards:

A. A sight obscuring fence or evergreen hedge may be required by the Hearings Body when in its judgment, such a fence or hedge combination thereof is necessary to preserve the values of nearby properties or to protect the aesthetic character of the neighborhood or vicinity.

B. In addition to the requirements of the applicable zone, the Hearings Body may further regulate the placement and design of signs and lights in order to preserve the values of nearby properties; to protect them from glare, noise, or other distractions; or to protect the aesthetics character of the neighborhood or vicinity.

C. In order to avoid unnecessary traffic congestion and hazards, the Hearings Body may limit access to the property.

8. Commercial amusement establishment: A commercial amusement establishment may be authorized after consideration of the following factors:

A. Adequacy of access from principal streets together with the probable effect on traffic volumes of abutting and nearby streets.

B. Adequacy of off-street parking.

C. Adequacy of building and site design provisions to maintain a reasonable minimum of noise and glare from the building and site.

D. Hours of operation which do not conflict with adjacent residential uses where applicable.

CHAPTER 8 DEVELOPMENT REGULATIONS 144

9. Dog pounds and kennels: The Hearings Body may authorize a dog pound or kennel as a conditional use if that building and site design provisions are adequate to minimize noise and odor. When necessary to protect surrounding properties, the Hearings Body may require a sight obscuring fence or hedge, and may restrict vehicular access and loading facilities, especially those required by trucks transporting large animals.

10. Hotels in the M-1 Light Industrial Zone: Hotels may be permitted in the Light Industrial Zone only if the Hotel is:

A. A minimum of 50 rooms, and

B. Adjacent to and accessed from a designated arterial street

11. Mining, quarrying, or other extraction activity:

A. Plans and specifications submitted to the Hearings Body for approval must contain sufficient information to allow the Hearings Body to consider and set standards pertaining to the following:

1. The most appropriate use of the land;

2. Setback from the property line;

3. The protection of pedestrians and vehicles through the use of fencing and screening;

4. The protection of fish and wildlife habitat and ecological systems through control of potential air and water pollutants;

5. The prevention of the collection and the stagnation of water at all stages of the operation;

6. The rehabilitation of the land upon termination of the operation.

B. Surface mining equipment and necessary access road shall be constructed, maintained, and operated in such manner as to eliminate, as far as is practicable, noise, vibration, or dust which may be injurious or annoying to persons or other uses in the vicinity.

C. The comments and recommendations of all appropriate natural resources agencies of the state and federal government shall be sought.

D. A rock crusher, washer, or sorter shall not be permanently located closer than 500 feet from a residential or commercial zone.

12. Manufactured Home Park. A manufactured home park shall be built to site standards in effect at the time of construction and shall comply with the following additional provisions:

A. Evidence shall be provided that the park will be connected to City sewer and water services

B. The space provided for each manufactured home shall be provided with city water and electrical and sewerage connections.

C. The number of spaces for manufactured homes shall not exceed nine (9) for each acre of the total area in the manufactured home park.

D. A manufactured home shall occupy not more than 40 percent the contiguous space provided for the exclusive use of the occupants of the manufactured homes and exclusive of space provided for the common use of tenants, such as roadway, general use structures, parking spaces, walkways, and areas for recreation and landscaping.

E. No manufactured home in the park shall be located closer than 15 feet from another manufactured home or from a general use building in the park. No manufactured home accessory building shall be closer than 10 feet from a manufactured home space or other building or structure. No manufactured home or other building or structure shall be within 25 feet of a public street property boundary or 10 feet of another property boundary.

CHAPTER 8 DEVELOPMENT REGULATIONS 145

F. A manufactured home permitted in the park shall meet the following standards as determined by an inspection by the Building Official:

1. It shall have a State insignia indicating compliance with Oregon State Manufactured Home Construction Standards in effect at the time of manufacture and including compliance for reconstruction or equipment installation made after manufacture.

2. Notwithstanding deterioration which may have occurred due to misuse, neglect, accident, or other cause, the manufactured home shall meet the State standards for manufactured home construction evidenced by the insigne.

3. It shall contain not less than 225 square feet of space as determined by measurement of the unit exclusive of any trailer hitch device.

4. It shall contain a water closet, lavatory, shower or tub, and a sink in a kitchen or other food preparation space.

5. A manufactured home permitted in the park shall be provided with a continuous skirting.

6. There shall be no outdoor storage of furniture, tools, equipment, building materials or supplies belonging to the occupants or management of the park.

7 The land which is used for park purposes shall be surrounded, except at entry and exit places, by a sight obscuring fence or hedge not less than six feet in height. The fence or hedge shall be maintained in a neat appearance.

8. If the park provides space for 50 or more manufactured home units, each vehicular way in the park shall be named and marked with signs which are similar in appearance to those used to identify public streets. A map of the named vehicular ways shall be provided to the fire department.

9. If a manufactured home space or permanent structure In a park is more than 500 feet from a public fire hydrant, the park shall have water supply mains designed to serve fire hydrants and hydrants shall be provided within 500 feet of such space or structure. Each hydrant within the park shall be located on a vehicular way and shall conform in design and capacity to the public hydrants in the City.

10. Open Space. A minimum of at least 2,500 square feet plus 150 square feet per manufactured home space shall be provided for a recreational play area, group, or community activity. The Hearings Body may require this area to be physically separated from streets, or parking area by a fence or the equivalent, that conforms to fence regulations, but at least 30 inches in height where allowed by fence standards. Unless otherwise approved, no required open space area shall contain less than 2,500 square feet. Recreation areas shall be improved with grass, plantings, surfacing, or buildings suitable for recreational use. No recreation facility created within a manufactured home park wholly to satisfy the requirements of this section shall be open to, or offered in itself, to the general public.

11. Parking Space Requirement. Two parking spaces shall be provided for each manufactured home space on the site. In addition, guest parking spaces shall also be provided in every manufactured home park within 200 feet of the manufactured home spaces served and at a ratio of one parking space for each two manufactured home spaces. Parking spaces

8 DEVELOPMENT
146
CHAPTER
REGULATIONS

shall have durable and dustless surfaces adequately maintained for allweather use and shall be properly drained.

12. All manufactured home parks over 10 acres in size shall be located to have access on a street designated as a collector street unless otherwise approved by a Hearings Body.

13. All manufactured home parks containing a total site area of 20 acres or more shall provide a secondary access to the mobile home park. Such secondary access shall enter the public street system at least 150 feet from the primary access.

14. Lighting shall be installed along the access ways of the manufactured home park and the recreation area with lights of 100 watts or better or not over 100 feet apart. Wires for service to light poles and trailer spaces shall be underground.

15. Roadways within the park shall be paved and shall be not less than 30 feet in width if parking is permitted on the margin of the roadway, or less than 24 feet in width if parking is not permitted on the edge of the roadway and an adequate designated area is provided and improved for guest parking and tenant recreational vehicles (such area shall be designed and improved to provide not less than one parking space per each two unit spaces in the park).

16. No manufactured home park shall be created on a site of less than three acres.

17. Sidewalks or other approved surfaced pedestrian walkways shall be provided

18. Public Park. The developer shall be required to either dedicate land for a public park or pay a sum into a park fund in accordance with the provisions set forth in Section 8.0355 of these standards.

13. Multi-Family Complex: A Multi-family complex shall comply with the following provisions:

A. If such complex or any unit thereof is more than 500 feet from a public fire hydrant or as otherwise required by the uniform fire code, then a new hydrant or hydrants shall be provided at appropriate locations as determined by the Fire Marshal. Such hydrants shall be located on a vehicular way and shall conform in design and capacity to the public hydrants in the City.

B. All such complexes with more than 20 dwelling units shall be located to have access on a street designated as a collector unless otherwise approved by the Hearings Body.

C. Sidewalks or other approved surfaced pedestrian walkways shall be provided.

14. Recreational Vehicle Park: A recreational vehicle park shall be built to State standards in effect at the time of construction and shall comply with the following provisions:

A. Use Standards.

1. No recreational vehicle park or overnight use area shall be permitted with access further than 1,000 feet from a designated arterial or collector street or private street of equal paved width. Further, such access roads shall be designed and constructed at the maximum design standards for right-of-way and/or pavement width (60 feet/36 feet). A lesser standard of not less than 30 feet may be approved by the hearings body if no street parking is allowed, sufficient off-street parking is provided and only if the proposed park plan is accompanied by an approved maintenance and enforcement management agreement.

CHAPTER 8 DEVELOPMENT REGULATIONS 147

2 The design of recreational vehicle parks shall be subject to site plan review and approval and have minimal adverse impacts.

3. Management headquarters, recreational facilities, toilets, dumping stations, showers, coin-operated laundry facilities, and other uses and structures customarily incidental to operation of a recreational vehicle park and campground are permitted as accessory uses to the park.

B. Design Standards.

1. The maximum density of an RV park shall be 20 units per acre.

2. The space provided for each recreational vehicle site shall be not less than 1,200 square feet, exclusive of any space used for common areas, such as roadways, general use structures, walkways, common parking areas, and landscaped areas.

3. Roadways other than those described above shall be not less than 30 feet in width if parking is permitted on the margin of the roadway, or less than 24 feet in width if parking is not permitted on the edge of the roadway, shall be paved with asphalt, concrete, or similar impervious surface, and designed to permit easy access to each recreational vehicle space. When a service drive provides only secondary access to all abutting recreational sites and those sites are all served by a roadway meeting the above standards, the secondary drive may be reduced to 14 feet if one-way and posted for no parking

4. Entrance driveways shall be located not closer than 150 feet from the intersection of public streets.

5. A space provided for a recreational vehicle shall be covered with dustfree crushed gravel, or paved with asphalt, concrete or similar materials, and be designed to provide runoff of surface water. The portion of the space not occupied by a recreational vehicle and not intended as an access way to the recreational vehicle or part of an outdoor patio need not be paved or covered with gravel, provided the area is landscaped or otherwise treated to prevent dust or mud.

6 A recreational vehicle space shall be provided with piped, potable water and sewage disposal service. A recreational vehicle staying in the park shall have available water and sewage service provided by the park if the vehicle has equipment needing such service.

7 A recreational vehicle space shall be provided with electric service.

8. Trash receptacles for the disposal of solid waste material shall be provided in convenient locations for the use of guests of the park and shall be of such capacity and number so that there is no accumulation of uncovered trash at any time. Trash shall be removed from the property on a scheduled basis to prevent health hazard or nuisance.

9. No recreational vehicle or any other camping unit shall be used as a permanent residence, dwelling, or business for indefinite periods of time. Occupancy or placement extending beyond six months in any 12-period shall be presumed to be permanent occupancy. Any action toward removal of wheels of a recreational vehicle except for temporary purposes of repair is prohibited. Camping units other than recreational vehicles shall be limited to 30-days in any 60-day period.

10. The total number of parking spaces in the park, exclusive of parking provided for the exclusive use of the manager or employees of the park shall be equal to one space per recreational vehicle space. Parking

CHAPTER 8 DEVELOPMENT REGULATIONS 148

spaces shall be covered with crushed gravel, or paved with asphalt, concrete, or similar material, providing a dust- free surface.

11. The recreational vehicle park shall provide toilets, lavatories and showers for each sex as required by the State Building Agency Administrative Rules, Chapter 918. Such facilities shall be lighted at all times of night and day, shall be ventilated, and shall be provided with adequate floor drains to permit easy cleaning.

12. Recreational vehicles or other camping units shall be separated from each other and from other structures by at least 8 feet. Accessory structures such as attached awnings or individual storage facilities shall, for purposes of this separation requirement, be considered to be part of the recreational vehicle.

13. The recreational vehicle park shall be enclosed by a fence, wall, landscape screening, earth mounds, or by other designs which will complement the landscape and assure compatibility with surrounding properties.

14. Each recreational vehicle park shall set aside along the perimeter of the recreational vehicle park a minimum 10' strip which shall be site obscuring landscaped and used for no other purpose. Additional area for landscaping may be required through the design review process.

15. Radio, television tower, utility station, or substation: Transmitting and receiving towers and antennas are allowed as a conditional use and subject to the requirements set forth in Sections 8.0400-8.0490 of these standards.

16. Child Care Facilities: Child Care Facilities shall provide and maintain at least 75 square feet of outdoor play area per child. A sight obscuring fence at least four feet but not more than six feet high shall separate the play area from the abutting lots.

17 Mini-Storage Developments:

A. The site shall contain a minimum of 3 acres

B The site shall have access only on a minor arterial, major collector, or minor collector.

C The maximum lot coverage shall not exceed sixty (60%) per cent of the total lot area

D No more than one (1) dwelling may be located on the site and the purpose of the dwelling shall be for the operation, maintenance, and security of the mini-storage development.

E All outdoor storage of recreational vehicles and/or boats shall be screened from view by a site-obscuring fence, wall, landscaped screening, earthen mounds, hedges, or other designs which will compliment the landscape and assure compatibility with adjacent uses.

F. All mini-storage units shall be screened by a site-obscuring fence or landscape buffer.

G. All roadways within the mini-storage development shall be a minimum of twenty (20') feet in width and shall be paved.

18. Development in the OSPR zone.

A. An application for a conditional use other than for a public facility shall be denied if the proposed use is not related to or complimentary, or compatible with the recreational, historical, or scenic resources of the area.

B. The Hearings Body may limit changes in the natural grade of land or the alteration, removal, or destruction of natural vegetation in order to prevent or minimize erosion, pollution, or degradation of the natural attractiveness of the area.

CHAPTER 8 DEVELOPMENT REGULATIONS 149

C. The Hearings Body may require establishment and maintenance of fire breaks, the use of fire-resistant materials in construction and landscaping; or may attach other similar conditions or limitations that will serve to reduce fire hazards or prevent the spread of fire to surrounding areas.

D. An application for a conditional use in an OSPR Zone shall be denied if the height of any structures or buildings unduly affects the natural and scenic features of the area.

E. Development of public or private recreational centers or community centers must:

1. Be in or within one hundred feet of an enhancement area as defined on the map.

2. Provide access to a specific parcel from existing routes accessing the canyon or routes designated in the plan maps as set forth within the adopted Canyon Master Plan and Comprehensive Plan for the City of Redmond.

3. Be reasonably accessible for people of all ages and social and economic groups and for all geographic areas of the community.

4. Be coordinated with adjacent open space areas and other land uses so they enhance one another and together contribute to a satisfying park environment.

5 Provide for the preservation or enhancement of natural features, resources, and amenities, including views and vistas, canyon walls, native juniper stands and exposed rock outcroppings.

F. Except for the development of public facilities and services, it shall be unlawful to fill, discard or store solid wastes of any kind, including but not limited to excavation, tailings, rubbish, auto bodies, junk, and other similar materials, to store any materials which are unsightly within the canyon area soil, trees, shrubbery, or other natural vegetation.

19 Development in the R-3A. In addition to other conditional use standards and criteria applicable in the R3 zone, an application for conditional use in the R-3A zone shall be subject to the following criteria:

A. The hearings body may limit the hours of operation (open to the public) of a commercial business allowed as a conditional use in the R3A zone so that the use is compatible with the surrounding residential neighborhood. For restaurant or theater uses, the hearings body may limit hours of operation to no later than 9:00 p.m. on weekdays and 10:00 p.m. on weekends. For other commercial uses, the hearings body may limit hours to be after 8:00 a.m. and no later than 6:00 p.m.

B. The applicant shall provide a plan to ensure that there is adequate off-street parking for the proposed use

C. Signage in the R3A zone shall be limited to either one ground mounted sign no larger than five x three (5 x 3) square feet, or in the alternative, a non-illuminated wall size of similar size.

D. Retail uses shall be limited to those types of businesses which provide low traffic impacts on the surrounding areas such as computer stores, clothing stores.

E. Any restaurant allowed shall be a full service restaurant. No fast-food restaurants or drive-in/drive-through restaurant will be allowed in the R3A zone.

[Section 8.0615 amended by Ord. #2015-04 passed May 19, 2015]

[Section 8.0615 amended by Ord. #2016-17 passed January 31, 2017]

[Section 8.0615 amended by Ord. #2020-15 passed November 10, 2020]

[Section 8.0615 amended by Ord. #2022-04 passed June 28, 2022]

CHAPTER 8 DEVELOPMENT REGULATIONS 150

[Section 8.0615 amended by Ord. #2022-09 passed December 13, 2022]

8.0616 Conflicts. Where there is a conflict between any other standards for uses in the R3 zone and these criteria, the criteria set forth in 8.0615 shall control.

8.0625 Public Hearing on a Conditional Use. A public hearing may be required at the discretion of the Community Development Director, or designee, for any conditionally permitted use. If required, the hearing shall follow the procedure described in Land Use Administrative actions allowed under Article II.

[Section 8.0625 amended by Ord. #2022-04 passed June 28, 2022]

8.0630 Termination of Use. A conditional use permit approval may have a termination date that indicates when the use is no longer permitted through the conditional use approval. If applied, then such dates shall be specified within the conditions of approval for the Conditionally Permitted Use.

8.0635 Time Limit on a Permit for a Conditional Use. Authorization of a conditional use shall be void after two years or such lesser time as the authorization may specify unless substantial construction has taken place. However, the Community Development Director, or Hearings Body, may allow extensions as provided in Section 8.1610. (3/99)

8.0640 Occupancy Permit. The Commission may require an "Occupancy Permit" for any conditional use approved pursuant to the provisions of these standards. The Hearings Body shall consider such a requirement for any use authorized by a conditional use permit for which on-site improvements, or other such conditions were established by the Hearings Body upon approval of such use. The requirement of an Occupancy Permit shall be for the intent of insuring permit compliance and said permit shall not be issued except as set forth by the Hearings Body. The authority to issue an Occupancy Permit upon compliance with the requirements and conditions of a conditional use permit may be delegated by the Hearings Body to the Community Development Director.

8.0645 Performance Bond. The Hearings Body may require the applicant to furnish the city with a performance bond or other adequate form of assurance to guarantee development in accordance with the standards and conditions attached in granting a conditional use permit.

8
151
CHAPTER
DEVELOPMENT REGULATIONS

NON-CONFORMING USES

8.0660 Non-Conforming Uses - Continuation of a Non-Conforming Use or Structure. Subject to the provisions of this article, a non-conforming use or structure existing prior to the effective date of these standards may be continued and maintained in reasonable repair. A structure conforming with respect to use but non-conforming regarding height, setback, or lot coverage may be altered or extended if the alteration or extension does not further deviate from these standards and does not adversely affect adjacent property or public right of ways.

8.0665 Discontinuance of a Non-Conforming Use.

1. If a non-conforming use involving a structure is discontinued for a period of one year, further use of the property shall conform to these standards; except that previous residential use may be allowed as a conditional use pursuant to Sections 8.0600-8.0645 provided that the conditional use application is filed with the City within one (1) year of the cessation of the non-conforming use.

2. If a non-conforming use not involving a structure is discontinued for a period of one year and if a conditional use application to allow a residential use is not filed with the City, further use of the property shall conform to these standards.

8.0670 Change of a Non-Conforming Use. If a non-conforming use is replaced by another use, the new use shall conform to all applicable zoning and development standards.

8.0680 Destruction of a Non-Conforming Use. If a non-conforming structure or a structure containing a non-conforming use is destroyed by any cause to an extent exceeding 60 percent of fair market value as indicated by the records of the County Assessor, a future structure or use on the site shall conform to the zoning standards and all applicable provisions of the Redmond Development Code; except that previous residential use may be allowed as a conditional use pursuant to Sections 8.0600-8.0645 provided that the conditional use is allowed in the zone and that the application is filed with the City within one (1) year of the destruction of the existing non-conforming use

8.0685 Alterations and Repairs.

1. Alteration of a non-conforming use shall be permitted to reasonably continue the use. Alteration of any such use may be permitted when necessary to comply with any lawful requirement for alteration in the use.

2 Any application for the alteration of a use under sub-section (1) above, including, but not limited to, an alteration necessary to comply with a lawful requirement, shall be permitted in accordance with these standards and this section. "Alteration" of a non-conforming use may be allowed when the owner / developer demonstrates that:

A. The alteration or change in the use results in less or no greater adverse impact to the neighborhood,

B. A change in the structure or physical improvement results in less or no greater adverse impact to the neighborhood.

C. There is no adverse impact on any public facility, including right of ways or public easements, located on or adjacent to the property.

CHAPTER 8 DEVELOPMENT REGULATIONS 152

8.0695 Non-Conforming Lots of Record. Any lot which is smaller than the minimum area required in any zone may be developed and occupied by an allowed use in that zone provided that:

1. The lot is a legal lot of record which includes, but is not limited to, lots in a duly platted and recorded subdivision on or before the effective date of these standards or parcels created by an approved land partitioning prior to the effective date of the subdivision ordinance.

2. The use conforms to all other requirements of that zone, including setbacks, access, and any applicable site design requirements.

3. If there is an area deficiency, a permitted residential use shall be limited to a single dwelling unit and may include accessory structures and uses, including home occupations and garages.

[Section 8.0695 amended by Ord. #2022-09 passed December 13, 2022]

CHAPTER 8 DEVELOPMENT REGULATIONS 153

VARIANCES

8.0700 Authorization to Grant or Deny Variances. Except as provided for in Section 8.0710, the Community Development Director, or Hearings Body, may authorize variances from these standards where it can be shown that owing to special and unusual circumstances related to a specific piece of property, the literal interpretation of these standards would cause an undue or unnecessary hardship; except that no variance shall be granted to allow the use of the property for purposes not authorized within the zone, or to alter any procedural requirements of these standards. Variances to residential yard/setback requirements may be allowed as described below and may include conditions to protect the best interest of the surrounding property or neighborhood and to otherwise achieve the purposes of these standards.

[Section 8.0700 amended by Ord. #2016-17 passed January 31, 2017]

[Section 8.0700 amended by Ord. #2020-15 passed November 10, 2020]

8.0705 Standards Required to Grant Major Variances. A major variance may be granted pursuant to the provisions of Section 8.0700 if the applicant can establish the following:

1. That special conditions exist which are peculiar to the land, structure or building involved and which are not applicable to other lands, buildings, or structures in the same zone

2. That strict interpretation of these standards would deprive the applicant of rights commonly enjoyed by other properties in the same zone under the terms of these standards.

3. That the special conditions and circumstances do not result from the actions of the applicant and such conditions and circumstances do not merely constitute pecuniary hardship or inconvenience.

4. That granting the variance will be in harmony with the objectives of these standards, and not injurious to the neighborhood or otherwise detrimental to the public welfare.

[Section 8.0705 amended by Ord. #2020-15 passed November 10, 2020]

8.0710 Standards Required to Grant Minor Variances to On-Site Requirements. A minor variance under this section shall be no greater than 25% of the requirement from which the variance is sought. The Community Development Director, or designee, may consider a variance from these standards relating to on site requirements.

1. In the case of a yard setback variance, the applicant shall show the approval will result in:

A. More efficient use of the site.

B Preservation of natural features where appropriate.

C. Adequate provisions of light, air, and privacy to adjoining properties.

D. Adequate access.

2. In the case of a variance to the dimensional standards for off-street parking spaces or the minimum required number of off-street parking spaces, the applicant shall show that approval will provide adequate off-street parking in relation to user demand. The following factors may be considered in granting such an exception:

A. Special characteristics of users which indicate low demand for off-street parking (e.g., low income, elderly).

B. Opportunities for joint use of nearby off-street parking facilities.

C. Availability of public transit.

CHAPTER 8 DEVELOPMENT REGULATIONS 154

D Natural features of the site (topography, vegetation, and drainage) which would be adversely affected by application of required parking standards.

3. For variances to other on site requirements of 25% or less the applicant shall show that approval of the variance will be consistent with the overall objectives of the Comprehensive Plan and zoning standards where applicable, and that the variance will have a minimal adverse impact on the livability, value or development of abutting properties and the surrounding area.

[Section 8.0710 amended by Ord. #2022-04 passed June 28, 2022]

8.0720 Application for a Variance. A property owner may initiate a request for a variance by filing an application with the Community Development Department. The application shall be accompanied by a plan, drawn to a suitable scale, showing the condition to be varied and the dimensions and arrangement of the proposed development. The application shall be reviewed in the manner provided for in Article II, or, if in conjunction with site plan review, in the manner provided for in the Site & Design Review Standards.

[Section 8.0720 amended by Ord. #2020-15 passed November 10, 2020]

155
CHAPTER 8 DEVELOPMENT REGULATIONS

AMENDMENTS

8.0750 Authorization to Initiate Amendments. An amendment to the text of this chapter (Redmond Development Code), to the Comprehensive Plan, or an amendment to the Comprehensive Plan Map may be initiated by City Council, Planning Commission, or Community Development Director. A property owner may initiate a request for a map or text amendment by filing an application with the Community Development Department.

[Section 8.0750 amended by Ord. #2020-15 passed November 10, 2020]

[Section 8.0750 amended by Ord. #2022-04 passed June 28, 2022]

[Section 8.0750 amended by Ord. #2022-09 passed December 13, 2022]

8.0755 Zone / Plan Map Amendments.

[Section 8.0755 deleted by Ord. #2020-15 passed November 10, 2020]

8.0760 Criteria for Amendments. The burden of proof is upon the applicant. The applicant shall show the proposed change is:

1. In conformity with all applicable State statutes;

2. In conformity with the State-wide planning goals whenever they are determined to be applicable;

3 In conformity with the Redmond Comprehensive Plan, land use requirements and policies; and

4. That there is a change of circumstances, further studies justifying the amendment or mistake in the original zoning.

[Section 8 0760 amended by Ord. #2020-15 passed November 10, 2020]

8.0765 Tentative Approval. Based on the facts presented at the hearing and the recommendation of the Planning Commission, if the Hearings Body determines that the applicant has met all applicable criteria for the proposed change, the Hearings Body shall give tentative approval of the proposed change Such approval shall include any conditions, stipulations, or limitations which the Hearings Body determines to be necessary to meet the criteria. An appeal of the Hearings Body’s decision shall be processed and decided in the manner provided for in Article II of these standards. Upon completion of hearings process, the council shall, by order, effect the zone reclassification of the property. Provided, however, if the applicant fails to abide by the conditions attached to the rezoning the Council may, later, rezone the affected property to its original zoning by order.

[Section 8.0765 amended by Ord. #2020-15 passed November 10, 2020]

8.0770 Public Hearing on Amendments. If a map change is initiated by the Planning Commission or City Council, or if an amendment to the text of these standards is to be considered, the City Council shall hold a public hearing on the proposed change. Notice of the hearing shall be published in a newspaper of general circulation in the City the week prior to the hearing. Before establishing a map change, the Council shall make findings that the proposed change meets the criteria set forth in Section 8.0760. Any change affected under this section shall be by ordinance.

CHAPTER 8 DEVELOPMENT REGULATIONS 156

8.0775 Limitations on Re-Applications.

[Section 8.0775 deleted by Ord. #2020-15 passed November 10, 2020]

CHAPTER 8 DEVELOPMENT REGULATIONS 157

GENERAL PROVISIONS

8.0800 Severability. The provisions found within this Code are severable. If any section, sentence, clause, or phrase is adjudged by a court of competent jurisdiction to be invalid, the decision shall not affect the validity of the remaining portions of this Code.

8.0805 Enforcement.

1. Administration. It shall be the duty of the City Manager or an authorized representative to enforce the provisions of these standards pertaining to land use and to the construction, erection, location, or enlargement of any structure located within the City of Redmond under the jurisdiction of these standards.

2. Building Permits. No permit shall be issued by the building official for the construction, erection, location, or enlargement or change of use of a building, structure or lot that does not conform to the requirements of these standards or any other ordinance, regulation, permit, or land use approval adopted or issued by the City of Redmond.

3. Authority. Whenever necessary to enforce the provisions of these standards, the City Manager or an authorized representative shall have recourse to every remedy provided by law.

4. Violation of these standards is a nuisance. The construction, erection, location, enlargement of use, change in use or use(s) of any structure or property in violation of these standards or those conditions and limitations approved pursuant to the provisions of these standards shall be deemed a nuisance and may be subject to abatement, removal, or other remedy provided in the City of Redmond’s nuisance code under Section 5.345

5. Revocation for False Statement. The City Manager, or designee, may revoke any permit granted pursuant to the provisions of these standards, if it is determined the permit was issued on account of material false statements contained in the application form or material false representations made at a public hearing. A decision to revoke a permit shall be subject to the procedures established for a Development Action, with the corresponding right of appeal.

6. Revocation for Non-conformance. The City Manager, or designee, may revoke any permit granted pursuant to the provisions to these standards for failure to comply with those conditions and limitations placed upon the exercise of the permit. A decision to revoke a permit shall be subject to the procedures established for a Development Action, with the corresponding right of appeal. Failure to comply with applicable conditions and limitations may also be subject to abatement, removal, penalty, or other remedy provided in the City of Redmond nuisance code.

7. Penalties of Violation.

A. A violation of any provision of these standards shall be a Class A civil infraction and/or Class A administrative infraction

B. Violations shall be enforced under the procedures established in sections 2.750 to 2.799.

C. Each day that a nuisance continues to exist constitutes a separate violation, and a separate penalty may be assessed for each day the violation continues.

[Section 8.0805 amended by Ord. #2013-06 passed April 9, 2013]

[Section 8.0805 amended by Ord. #2014-05 passed April 8, 2014]

[Section 8.0805 amended by Ord. #2020-15 passed November 10, 2020]

CHAPTER 8 DEVELOPMENT REGULATIONS 158

8.0810 Corrections. The provisions of this Code may be corrected by the City Manager, or designee, to cure formatting, numbering, editorial and clerical errors.

[Section 8.0810 amended by Ord. #2020-15 passed November 10, 2020]

8
159
CHAPTER
DEVELOPMENT REGULATIONS

PRESERVATION OF HISTORIC RESOURCES

8.0820 Purpose. The City of Redmond establishes a Historic Preservation Ordinance to identify, recognize, and preserve significant properties related to the community’s history; encourage the rehabilitation and ongoing viability of historic buildings and structures; strengthen public support for historic preservation efforts within the community; foster civic pride; and encourage cultural heritage tourism.

[Section 8.0820 amended by Ord. #2011-06 passed May 24, 2011]

[Section 8.0820 amended by Ord. #2018-13 passed December 11, 2018]

8.0825 Administration. This code shall be administered by the Historic Preservation Officer.

[Section 8.0825 amended by Ord. #2011-06 passed May 24, 2011]

[Section 8.0825 amended by Ord. #2018-13 passed December 11, 2018]

[Section 8.0825 amended by Ord. #2022-04 passed June 28, 2022]

8.0830 Applicability. No provision of this Ordinance shall be construed to prevent the ordinary maintenance of a Landmark when such action does not involve a change in design, materials, or appearance. No provision in this Ordinance shall be construed to prevent the alteration, demolition, or relocation of a Landmark when the Building Official certifies that such action is required for public safety. At his or her discretion, the Building Official may find that under state law and provisions of this ordinance that a Landmark does not meet current building code but is not dangerous.

[Section 8.0830 amended by Ord. #2011-06 passed May 24, 2011]

[Section 8.0830 amended by Ord. #2018-13 passed December 11, 2018]

8.0832 Property Owner Permission Required for Designation.

[Section 8.0832 added by Ord. #2011-06 passed May 24, 2011]

[Section 8.0832 deleted by Ord. #2018-13 passed December 11, 2018]

8.0835 Definitions. The following definitions apply to terms used in this Code. Terms not defined have their commonly construed meaning:

Alteration: An addition, removal, or reconfiguration that changes the appearance of a Landmark. Painting, when color is not specifically noted in Landmark’s Record of Designation, and ordinary maintenance are excluded from this definition.

Building: A house, barn, church, hotel, or similar construction created principally to shelter any form of human activity.

Certificate of Appropriateness (COA): A document issued by the Historic Preservation Officer indicating that the applicant has satisfactorily met the provisions of this Ordinance for the alteration, relocation, or demolition of a Landmark.

Demolition: The complete destruction or dismantling of sixty-five (65) percent of, or greater, of the entirety of a Landmark.

District: A significant concentration, linkage, or continuity of sites, buildings, structures, or objects united historically or aesthetically by plan or physical development.

Eligible/Contributing: A building, structure, object, or site originally constructed within the applicable period of significance that retains and exhibits sufficient integrity (location, design, setting, materials, workmanship, feeling, and association) to convey a sense of

CHAPTER 8 DEVELOPMENT REGULATIONS 160

history. These properties strengthen the historic integrity of an existing or potential historic district.

Eligible/Significant: A building, structure, object, or site originally constructed within the applicable period of significance that retains and exhibits sufficient integrity (location, design, setting, materials, workmanship, feeling, and association) to convey a sense of history. These properties strengthen the historic integrity of an existing or potential historic district and are likely individually eligible for listing in the Local Landmark Register.

Exceptional Significance: The quality of historic significance achieved outside the usual norms of age, association, or rarity.

Historic Integrity: The quality of wholeness of historic location, design, setting, materials, workmanship, feeling, and/or association of a historic resource, as opposed to its physical condition.

Historic Preservation Officer: The city official responsible for the administration of this Ordinance.

Historic Resource: A building, structure, object, site, or district that is at least fifty (50) years old or is of exceptional significance and potentially meets the age, integrity, and significance criteria for listing in the Local Landmark Register, but may not necessarily be recorded in the Historic Resource Survey.

Historic Resources of Statewide Significance: Buildings, structures, sites, objects, and districts that are listed in the National Register

Historic Resource Survey: The record of buildings, structures, objects, and sites recorded by the City of Redmond used to identify historic resources potentially eligible for listing in the Local Landmark Register.

Historic Significance: The physical association of a building, structure, site, object, or district with historic events, trends, persons, architecture, method of construction, or that have yielded or may yield information important in prehistory or history.

Landmark: A building, structure, site, object, or district listed in the City of Redmond Local Landmark Register.

Local Landmark Register: The list of historic resources officially recognized by the City of Redmond as important to in its history and afforded the protection under this Ordinance

National Register of Historic Places: The nation’s official list of buildings, structures, sites, objects, and districts important in the nation’s history and maintained by the National Park Service in Washington, D.C., and hereinafter referred to as the “National Register.” Historic resources listed in the National Register are referred to as “Historic Resources of Statewide Significance” in Oregon Revised Statutes.

Non-Contributing: A building, structure, object, or site originally constructed within the applicable period of significance that does not retain or exhibit sufficient integrity (location, design, setting, materials, workmanship, feeling, and association) to convey a sense of history. These properties do not strengthen the historic integrity of an existing or potential historic district in their current condition.

Not in Period: A building, structure, object, or site that was originally constructed outside the applicable period of significance.

Object: A construction that is largely artistic in nature or is relatively small in scale and simply constructed in comparison to buildings or structures, including a fountain, sculpture, monument, milepost, etc.

Ordinary Maintenance: Activities that do not remove materials or alter qualities that make a historic resource eligible for listing in the Local Landmark Register, including cleaning, painting, when color is not specifically noted in Landmark’s Record of Designation, and limited replacement of siding, trim, and window components when

CHAPTER 8 DEVELOPMENT REGULATIONS 161

such material is beyond repair and where the new piece is of the same size, dimension, material, and finish as that of the original historic material.

Period of Significance: The time period, from one to several years or decades, during which a Landmark was associated with an important historic event(s), trend(s), person(s), architecture, or method(s) of construction.

Record of Designation: The official document created by the Historic Preservation Officer that describes how a Landmark meets the criteria for listing in the Local Landmark Register.

Rehabilitation: The process of returning a Landmark to a state of utility through repair or alteration, which makes possible an efficient use while preserving those portions and features of the Landmark and its site that convey its historic significance.

Relocation: The removal from or moving of a Landmark from its original location noted in the Record of Designation.

Site: The location of a significant event, prehistoric or historic occupation or activity, or a building or structure, whether standing, ruined, or vanished, where the location itself possesses historic, cultural, or archeological value regardless of any existing building, structure, or object.

State Historic Preservation Office (SHPO): The Oregon State Historic Preservation Office (SHPO) manages and administers programs for the protection of the state's historic and cultural resources.

Structure: A functional construction made usually for purposes other than creating human shelter, such as an aircraft, bridge, fence, dam, tunnel, etc

Streetscape: The physical parts and aesthetic qualities of a public right-of-way, including the roadway, gutter, planting strip, sidewalk, retaining walls, landscaping, and building setback.

[Section 8.0835 amended by Ord. #2018-13 passed December 11, 2018]

8.0840 Severability. If any portion of this Ordinance is for any reason held invalid or unconstitutional by any court of competent jurisdiction, such portion shall be deemed a separate, distinct, and independent provision and such holding shall not affect the validity of the remaining portions of this Ordinance shall remain in force and effect.

[Section 8.0840 amended by Ord. #2011-06 passed May 24, 2011]

[Section 8.0840 amended by Ord. #2018-13 passed December 11, 2018]

8.0845 Conflicts with Other Laws. If the provisions of this Ordinance are found to be in conflict with federal or state laws, the federal or state law shall prevail. In cases of conflict with other city ordinances the previously established statute shall take precedence.

[Section 8.0845 amended by Ord. #2018-13 passed December 11, 2018]

8.0850 Identification and Evaluation of Historic Resources. The Historic Resource Survey lists, describes, and determines the eligibility of historic resources for listing in the Local Landmark Register. Not all properties listed in the Historic Resource Survey are eligible for listing in the Landmarks Register. A property need not be first listed in the Historic Resource Survey before being nominated to the Local Landmark Register under Section 8.0855.

1. The Commission shall determine and periodically revise priorities for the identification and evaluation of historic resources based on the community’s needs and interests.

CHAPTER 8 DEVELOPMENT REGULATIONS 162

2. Before commencing inventory studies or updates, the Commission shall provide notice to the public describing the inventory, its purposes, and invite public participation through posting on the City website.

3. Surveyed properties shall be identified as Eligible/Significant (ES), Eligible/Contributing (EC), Non-Contributing (NC), or Not in Period (NP). Evaluation and documentation of properties in the Historic Resource Survey shall meet the requirements of the document “Guidelines for Historic Resource Surveys in Oregon, 2010” or most recent guidance for such efforts published by the SHPO and be supplied to the agency within six (6) months of the completion of the study.

4. Citizens shall have the opportunity to review and correct information included in the Historic Resource Survey. Any member of the public may place a property in the Historic Resource Survey; however, the Commission retains the authority to determine the property’s eligibility for listing in the Local Landmark Register.

5. The Commission may collect further information including, but not limited to, current photographs, architectural descriptions based on on-site observations, or archival documentation for properties already listed in the Local Landmark Register or National Register for the purposes of administering this Ordinance pursuant to the provisions of this Section.

[Section 8.0850 amended by Ord. #2018-13 passed December 11, 2018]

8.0855 Local Landmark Register. The Commission may designate historic resources to the Local Landmark Register as a means of providing recognition of their significance and providing incentive and guidelines for their preservation. The Local Landmark Register is maintained by the Historic Preservation Officer and shall be available to the public.

1. Criteria for Designating Historic Resources to the Local Landmark Register. Any building, structure, object, site, or district may be designated to the Local Landmark Register if it meets all the criteria listed below:

A. The property is located within the boundaries of the City of Redmond

B. The property is over fifty (50) years of age or of exceptional importance, or in the case of a locally designated district, the majority of the properties are over fifty (50) years old or have exceptional significance.

C. The property possesses sufficient historic integrity, in that there are no major alterations or additions that have obscured or destroyed the significant historic features. Major alterations that may destroy the historic integrity include, but are not limited to, changes in pitch of the main roof, enlargement or enclosure of windows on principal facades, addition of upper stories or the removal of original upper stories, covering the exterior walls with non-historic materials, moving the resource from its original location to one that is dissimilar to the original, additions which significantly detract from or obscure the form and appearance of the historic resource when viewed from the public right-of-way.

D. The property has historic significance as demonstrated by meeting at least one of the following criteria:

1. Association with events that have made a significant contribution to the broad patterns of our history; and/or

2. Association with the lives or persons significant in our past; and/or

3. Embody the distinctive characteristics of a type, period, or method of construction or that represent the work of a master, or that possess high artistic values, or that represent a significant and distinguishable entity whose components may lack individual distinction; and/or

CHAPTER 8 DEVELOPMENT REGULATIONS 163

4. Have yielded, or may be likely to yield, information important in prehistory or history.

2. National Register Properties. Historic resources within the corporate boundaries of the City of Redmond and listed in the National Register, including all National Contributing Register-listed historic districts in their entirety may be listed in the Local Landmark Register using the procedures outlined in Section 8.0855(3), but need not be documented as outlined in Section 8.0855 1.B through 1.D. In such cases, the National Register nomination shall serve as the Record of Designation. As all National Registerlisted properties, including individual properties in recognized as contributing National Register-listed historic districts are subject to the regulations in Section 8.0865.(5), pursuant to Oregon State Law. The Local Landmark Register, maintained at the municipal level, should not be confused with the National Register of Historic Places, a Federal program administered by the National Park Service (NPS) in partnership with the Oregon State Historic Preservation Office (SHPO). Listing in each program is a separate process, not automatic, and carries different ramifications.

3. Nomination Procedure. Any person, group, or government agency may nominate a property for listing in the Local Landmark Register. The nomination procedures are as follows:

A. There is no fee associated with nominating a historic resource to the Local Landmark Register.

B. The nomination for a historic resource to the Local Landmark Register must include a description of the boundaries of the proposed nominated area and the structures, objects, and sites contained therein, and a statement explaining how the historic resource(s) meet(s) the criteria under 1 of this Section. The Historic Preservation Officer may establish additional standards for a complete application.

C. Prior to setting the proposed nomination on the agenda for the next Historic Landmarks Commission meeting, the Historic Preservation Officer shall inform the subject property owners in writing of the nomination process, pursuant to local and state law. To be listed in the Local Landmark Register, the property’s legal owner(s) shall provide to the City a written statement acknowledging that that the owner understands the nomination process and the results of such a designation, and wishes to have their property listed in the Local Landmark Register. Within locally designated historic districts a boundary may be established, but only those that submit a statement as described above will be listed in the Local Landmark Register. In cases where multiple persons or entities own a single property, a simple majority of the property owners must submit a written statement. The City of Redmond may not object to the listing of a historic resource in City ownership. This provision does not apply to individual historic resources and historic districts listed solely in the National Register.

D. Upon acceptance of a complete application and receipt of written owner consent, the Historic Preservation Officer shall schedule a public hearing before the Historic Landmarks Commission pursuant to applicable state and local laws.

E. The Commission shall review the documentation for completeness, accuracy, and compliance with the “Criteria for Designating Historic Resources to the Local Landmark Register” of this Section. The Commission may make a recommendation to approve, deny, or table the application pending further testimony, or to allow for the petitioner to provide additional information as requested by the Commission. The Commission shall develop written findings to support its decisions.

CHAPTER 8 DEVELOPMENT REGULATIONS 164

F. Applications approved or denied by the Commission shall be reviewed by the City Council and the Council may make a motion to approve, deny or table the application pending further testimony.

G. Upon final approval by the City Council, the Historic Preservation Officer shall prepare a Record of Designation that includes the original nomination materials, and any testimony or additional materials considered during the nomination process that establishes the eligibility of the historic resource for listing in the Local Landmark Register.

H. Historic Resources designated as Landmarks shall be noted as such in the City of Redmond Historic Preservation Plan. The designation shall apply to the entirety of the recognized Landmark as described in the Record of Designation regardless of future property division or ownership.

I. A Record of Designation may be amended through the process described in this Section. The Historic Preservation Officer may administratively add additional materials gathered under the provisions of Section 8.0850 to keep the record current or elaborate on established facts in the Record of Designation. Notice of such an action shall be provided to the Commission at their next regular meeting.

4. Results of Listing in Local Landmark Register Historic resources listed in the Local Landmark Register receive the following benefits:

A. All uses, and restrictions established by the underlying zoning, existing conditional use permits, and other applicable design standards shall remain in effect unless changed as provided in the City of Redmond Development Code.

B. Landmarks are protected under the provisions of this ordinance

C. City staff shall consider granting zoning variances and/or conditional use permits in order to encourage the productive use and preservation of Landmarks.

D. The local Building Official shall consider waiving certain code requirements in accordance with the existing state building code.

E Property owners of Landmarks may seek technical or financial assistance from the Commission in applying for grants or tax incentives for rehabilitating their properties as resources and funds are available.

F. Property owners of Landmarks are eligible to receive City-funded grants and loans to assist with the preservation of their buildings as resources and funds are available.

[Section 8.0855 amended by Ord. #2018-13 passed December 11, 2018]

[Section 8.0855 amended by Ord. #2022-04 passed June 28, 2022]

8.0860 Designation of a Building, Structure, Object or Site of Historical Interest.

1. If the City Council finds that a particular site is of historical interest but does not meet the criteria for designation as a historical building or site, the Council may designate said building or site as a Building or Site of Historical Interest.

2. Buildings or sites designated as being of historical interest shall not be required to comply with the requirements of this code except in the event of demolition or of major alteration. In this instance, the owner must notify the City within at least ten (10) days prior to said demolition or major alteration and permit the City to take photographs of the site or building.

3. The City and/or Landmarks Commission may also make recommendations to the owner regarding alternatives to demolition or major alteration which would be detrimental to the building or site designation as being of historical interest.

CHAPTER 8 DEVELOPMENT REGULATIONS 165

[Section 8.0860 amended by Ord. #2018-13 passed December 11, 2018]

8.0865 Alterations, Demolitions, and Relocations of Historic Resources listed in the Local Landmark Register. The Landmarks Commission shall use the provisions of this Section to preserve the exterior character-defining features of Local Landmarks, listed either individually or within a locally designated historic district; and exteriors and interior public spaces of city-owned Landmarks. The portion of this section relating to alterations does not apply to properties listed solely in the National Register of Historic Places and that have not been designated as Local Landmarks.

1. Exclusions. Activities not subject to the provisions of this Section.

A. Alterations to building interiors, exempting those owned by the City of Redmond.

B. Application of exterior paint color when color is not specifically noted in record of designation.

C. Alterations to landscape features not specifically identified as historically significant in Record of Designation.

2. Alterations, Relocations, and Demolitions of a Landmark. No Landmark or exterior landscape or archaeological element noted as significant in the Record of Designation shall be altered, relocated, or demolished, or a new building or structure constructed within the area defined in the Record of Designation without a Certificate of Appropriateness signed and issued by the Historic Preservation Officer. Certificates must be presented to the Building Official before a building or demolition permit is issued. The process for applying for a Certificate of Appropriateness is as follows:

A. An application for a Certificate of Appropriateness must be submitted to the City and include a description of the proposed activity, accompanying maps, photographs, drawings, and other documentation. The Historic Preservation Officer may establish additional standards for a complete application, including defining different criteria for a complete application under provisions 3,4, and 5 of this Section.

B. Upon acceptance of a complete application, the Historic Preservation Officer shall decide within 15 days if the proposed work is subject to provisions 3, 4, or 5 of this Section.

C. The Historic Preservation Officer shall prepare a staff report that summarizes the proposed project, notes the criteria specified in this Ordinance under which the application shall be considered, and make a recommendation to the Commission to approve, approve with conditions, or deny the application for a Certificate of Appropriateness.

D. Materials that may be used in the preparation of the staff report include the Record of Designation; and/or National Register nomination; and/or other archival photos, maps; and/or other documentary evidence specific to the subject property; and/or observations from on-site inspections from the public-right-of way to document its historic appearance or alteration over time; and/or documents and publications of the National Park Service or Oregon State Historic Preservation Office.

E. The Commission shall review and act upon applications for the alteration, relocation, and demolition of a Landmark. Applications for the alteration of a Landmark may be approved, approved with conditions, or denied. Applications for the relocation or demolition of a Landmark may be approved, approved with conditions, or the action delayed for up to one year. The Commission shall develop written findings to support its decisions. The Historic Preservation Officer

CHAPTER 8 DEVELOPMENT REGULATIONS 166

shall include any conditions imposed by the Commission in the Certificate of Appropriateness pursuant to this Section.

F. A Certificate of Appropriateness issued for the alteration of a Landmark shall be effective for a period of two (2) years from the date of its issuance. A Certificate of Appropriateness issued for the relocation or demolition of a historic resource shall be effective for a period of one (1) year.

G. A Landmark may be altered, relocated, or demolished without a Certificate of Appropriateness if the Building Official attests in writing that the condition of a Landmark poses a clear and immediate hazard to public safety. The comments of the Building Official with sufficient evidence to support his or her conclusions shall be provided to the Historic Preservation Officer within fifteen (15) days of making his or her decision. The Historic Preservation Officer will make these materials available to the Commission at their next regular meeting. The property owner(s) must submit an application for a Certificate of Appropriateness as required under this Ordinance within thirty (30) days of the Building Official submitting his or her written statement to the Historic Preservation Officer.

3. Certificate of Appropriateness – Minor Alteration. The Historic Preservation Officer may issue a Certificate of Appropriateness for a Minor Alteration of a Landmark without a public hearing when the proposed alteration will not significantly change the qualities that merited the listing of the Landmark in the Local Landmark Register. A completed Certificate of Appropriateness must be presented to the Building Official before a permit is issued. The Historic Preservation Officer shall make a list of certificates issued in this manner available to the Commission at each regular meeting. Activities eligible for a Certificate of Appropriateness issued as described in this provision include the following:

A. Any maintenance, repair, replacements that uses materials identical to the original or existing materials.

B. Demolition of an outbuilding noted as sharing a lot with a Landmark and specifically noted as not historically significant in its designation.

C. New addition to a Landmark or new construction not visible from the public rightof-way

A copy of the Certificate of Appropriateness and final written decision shall be sent to each member of the Landmarks Commission. Review of a decision by the Historic Preservation Officer may be initiated by not less than two (2) Landmarks Commission members. The review shall be initiated in writing and delivered to the Historic Preservation Officer within twelve (12) days of the date of the mailing of the final written decision by the Historic Preservation Officer. Review by the Landmarks Commission shall occur at the next available meeting.

4. Certificate of Appropriateness – Major Alteration. A public hearing before the Commission and a signed Certificate of Appropriateness shall be required for Major Alteration activities not exempted in 1.A through 1.C. and 3.A through 3.C of this Section.

A. Prior to submitting an application for a permit pursuant to this Section, the applicant is encouraged to request a pre-application conference to review concepts and proposals.

B. Upon acceptance of a complete application the Historic Preservation Officer shall schedule a public hearing pursuant to applicable local and state laws.

C. In order to approve an application for the alteration of a Landmark, the Commission must find that the proposal meets the following guidelines as applicable:

CHAPTER 8 DEVELOPMENT REGULATIONS 167

1 A property shall be used as it was historically or be given a new use that requires minimal change to its distinctive materials, features, spaces, and spatial relationships; and/or

2. The historic integrity of a property shall be retained and preserved. The relocation of distinctive materials or alteration of features, spaces, and spatial relationships that characterize a property shall be avoided; and/or

3. A property shall be recognized as a physical record of its time, place, and use. Changes that create a false sense of historical development, such as adding conjectural features or elements from other historic properties, shall not be undertaken; and/or

4. Changes to a property that have acquired historic significance shall be retained and preserved; and/or

5. Distinctive materials, features, finishes, and construction techniques or examples of craftsmanship that characterize a property shall be preserved; and/or

6. Deteriorated historic features shall be repaired rather than replaced. If the severity of deterioration requires replacement of a distinctive feature, the new feature shall match the old in design, color, texture, and, where possible, materials. Replacement of missing features shall be substantiated by documentary and physical evidence; and/or

7. Chemical and physical treatments, if appropriate, shall be undertaken using the gentlest means possible. Treatments that cause damage to historic materials shall not be used; and/or

8. Archeological resources shall be protected and preserved in place. If such resources must be disturbed, mitigation measures shall be undertaken; and/or

9. New additions, exterior alterations, or related new construction shall not destroy historic materials, features, and spatial relationships that characterize the property. The new work shall be differentiated from the old and shall be compatible with the historic materials, features, size, scale and proportion, and massing to protect the integrity of the property and its environment; and/or

10. New additions and adjacent or related new construction shall be undertaken in such a manner that, if removed in the future, the essential form and integrity of the historic property and its environment would be unimpaired.

D. In addition to meeting the applicable guidelines in C(1) through C(10) of this Section, in order to approve an application for the alteration of a Landmark the Commission must find that the proposal meets the following design standards as applicable:

1. Vacant buildings shall be weather- and vandal-proofed in order to minimize further deterioration and the threat to public safety; and/or

2. Rehabilitation work, especially on the exterior and the principal facades shall preserve the existing historic features or replace them if absolutely necessary with features and materials known to have existed on the building through verifiable evidence such as photographs. Alterations to Landmarks shall not be based on speculation, but instead on documentary evidence; and/or

3. New additions shall be subordinate to the original building, meaning lower in height, attached to the rear, or set back along the side, smaller in scale, and have less architectural detail; and/or

CHAPTER 8 DEVELOPMENT REGULATIONS 168

4. Height, width, setback, roof shape, and the overall scale and massing of new buildings within historic districts and on lots with existing Landmarks, or additions to Landmarks shall be compatible with the existing historic building(s) and, in the case of historic districts, the overall streetscape; and/or

5. In locally designated historic districts and on lots with existing Landmarks, materials on at least the primary façade(s) of new buildings shall be similar in size, shape, color, and texture to the original materials on the facades of surrounding historic buildings; and/or

6. Architectural details on new construction (including wood or metal trim, porches, cornices, arches, and window and door features, etc.) shall be complimentary, but shall not replicate historic features on surrounding historic buildings; and/or

7. Window and door opening should be similar in size and orientation (vertical to horizontal) to openings on historic buildings and shall take up about the same percentage of the overall façade as those on surrounding historic buildings; and/or

8. In Locally Designated historic districts and on lots with existing Landmarks, the relationship of the width to the height of the principal elevations for new buildings and additions to existing Landmarks shall be in scale with the surrounding structures and streetscape. Wider new building can be divided into segments that more closely resemble the façade widths of historic buildings; and/or

9. In Locally Designated historic districts and on lots with existing Landmarks, the roof shape of new buildings and additions to existing Landmarks shall be visually compatible with the surrounding structures and streetscape. Unusual roof shapes, materials, and pitches are discouraged; and/or

10. Moving Landmarks shall be avoided, especially to create artificial groupings; and/or

11. The demolition of Landmarks shall be avoided whenever possible; and/or

12. The City of Redmond Historic Resources Best Practice Manual

5. Demolition or Relocation. A public hearing before the Landmark Commission and a signed Certificate of Appropriateness shall be required to relocate or demolish a Landmark or any property listed in the National Register of Historic Places individually or as part of a Locally or National Designated historic district.

A. In approving, approving with conditions, or denying an application for the demolition of a Landmark, the Landmark Commission shall find that:

1. The applicant has completed a replacement plan for the site, including plans approved by the City of Redmond. If the property is located within a Locally Designated historic district, plans must be submitted for review by the Commission pursuant to Section 8.0865(4) as it relates to new construction; and

2. The Building Official determines and states in writing that the building may not be safely removed from the site; and

3. The value to the community of the proposed use of the property outweighs the value of retaining Landmark at the original location. Public testimony shall be considered when making this determination.

B. In recommending that the City Council approve, approve with conditions, or deny an application for the relocation of a Landmark, the Landmark Commission must find that:

CHAPTER 8 DEVELOPMENT REGULATIONS 169

1. The relocated Landmark remains within the corporate limits of Redmond

2 The new site provides a suitable setting and ensures the building’s longterm preservation.

3. The applicant has completed a plan for the new site, including drawings approved by the Building Official.

C. In approving or denying an application for the relocation or demolition of a Landmark, the Commission may impose the following conditions:

1. Photographic, video, or drawn recordation of the Landmark in its original location; and/or

2. In the case of demolition, the Landmark be transported to a new site, and that, to the extent possible, the new location is similar to the original site and that the original setback and orientation of the building is replicated on the new lot; and/or

3. In the cases of properties listed in the National Register, that the applicant attempts to obtain permission to move the Landmark from the National Park Service in order to retain the property’s listing in the National Register and/or assume all responsibility and cost of removing the if permission cannot be obtained; and/or

4. Other reasonable mitigation measures.

D. At the hearing of an application to relocate or demolish a Landmark the Commission may, in the interest of exploring reasonable alternatives, delay issuance of a Certificate of Appropriateness for up to one hundred twenty (120) calendar days from the date of the hearing.

E. At the end of the one hundred and twenty (120) calendar day waiting period, the Historic Preservation Officer shall issue a Certificate of Appropriateness for the relocation or demolition of the Landmark.

F. Upon issuing a Certificate of Appropriateness for the demolition of a Landmark, the Historic Preservation Officer shall post a legal notice in a local newspaper of general circulation announcing the demolition, the criteria under which the demolition was approved, the historic significance of the property, and invite the public to provide alternatives to the demolition for consideration by the Commission.

G. Relocated Landmarks shall remain listed in the Local Landmark Register unless removed under Section 8.0870.

H Demolished Landmarks shall be removed from the Local Landmark Register using the procedures described in Section 8.0870.

[Section 8.0865 amended by Ord. #2018-13 passed December 11, 2018]

[Section 8.0865 amended by Ord. #2020-15 passed November 10, 2020]

[Section 8.0865 amended by Ord. #2022-04 passed June 28, 2022]

8.0870 Removal of Landmarks from the Local Landmark Register. A public hearing before the Commission and a signed Certificate of Appropriateness shall be required to remove a Landmark from the Local Landmark Register.

1. An application to remove a Landmark from the Local Landmark Register shall not be considered for one (1) year after the date of decision for the denial of an application for the relocation or demolition of the same Landmark under Section 8.0870(5).

2. Landmarks concurrently listed in the Local Landmark Register and National Register will be considered for removal from the Local Landmark Register only after the Landmark is

CHAPTER 8 DEVELOPMENT REGULATIONS 170

removed from the National Register and the SHPO has provided written evidence of the removal to the Historic Preservation Officer.

3. Any individual or group, including the Commission acting on its own initiative, may initiate the removal of a Landmark or individual property within a historic district from the Local Landmark Register by submitting a complete application to the Historic Preservation Officer.

4. The Historic Preservation Officer shall establish standards for a complete application for the removal of a Landmark from the Local Landmark Register. Upon acceptance of a complete application, the Historic Preservation Officer shall schedule a public hearing pursuant to applicable local and state laws.

5. In order to approve an application for the removal of a Landmark from the Local Landmark Register the Commission must find the following:

A. The Landmark has ceased to meet the criteria for listing in the Local Landmark Register because the qualities which caused it to be originally listed have been lost or destroyed; and/or

B. The property owner at the time the property was added to the Local Landmark Register did not provide written permission for such action as required under Section 8.0855

6. Landmarks accidentally destroyed by flood, fire, or other natural or accidental act or demolished under the provisions of Section 8.0865(5) and meeting the definition of “demolished” as defined in this Ordinance may be removed administratively from the Local Landmark Register by the Historic Preservation Officer. Notice of this action and written evidence documenting the demolition of the Landmark shall be provided to the Commission at their next regular meeting. This same documentation shall be provided to the SHPO. If a Landmark is also listed in the National Register, the Commission shall request that the SHPO remove the property from the National Register if not requiring the owner to do so under Section 8.0865(5)(C)

7. Upon removing a Landmark from the Local Landmark Register, the Historic Preservation Officer shall post a legal notice in a local newspaper of general circulation announcing the removal, the criteria under which the removal was approved, and the historic significance of the property.

[Section 8.0870 amended by Ord. #2018-13 passed December 11, 2018]

8.0875 Economic Hardship. The Landmarks Commission shall grant a Certificate of Appropriateness for a relocation, demolition, or, at the Commission’s discretion, modify or exempt a property from the requirements of Section 8.0865 if the applicant can demonstrate that complying with the provisions of this Ordinance creates an economic hardship that prevents the profitable use of the subject property.

1. Separate standards for demonstrating an economic hardship are established for investment or income-producing and non-income-producing properties:

A. Economic hardship for an income-producing property shall be found when the property owner demonstrates that a reasonable rate of return cannot be obtained from the Landmark if it retains its historic features, buildings, or structures in either its present condition or if it is rehabilitated.

B. Economic hardship for a non-income-producing property shall be found when the property owner demonstrates that the Landmark has no beneficial use as a single-family dwelling or for an institutional use in its present condition or if rehabilitated.

CHAPTER 8 DEVELOPMENT REGULATIONS 171

2. Property owners seeking a Certificate of Appropriateness for economic hardship must provide sufficient information, as determined by the Historic Preservation Officer, to support the application for the Certificate. Demonstration of an economic hardship shall not be based on or include any of the following circumstances:

A. Willful or negligent acts by the owner; and/or

B. Purchase of the property for substantially more than market value; and/or

C. Failure to perform normal maintenance and repairs; and/or

D. Failure to diligently solicit and retain tenants; and/or

E. Failure to provide normal tenant improvements.

[Section 8.0875 amended by Ord. #2018-13 passed December 11, 2018]

8.0880 Appeals. Appeals from actions of the Historic Preservation Officer shall be to the Landmarks Commission and may be filed by the applicant, the owner, occupant of the site or district concerned. Appeals from actions of the Landmarks Commission shall be to the Redmond City Council and may be filed by the applicant, the owner, occupant of the site or district concerned, or by any other person who participated in the initial hearing. Appeals must be filed within fifteen (15) days from the date of action by the Landmarks Commission, shall be filed on a form provided by the Planning Department, and shall be accompanied by a fee Decisions by the Redmond City Council may be appealed to the Oregon State Land Use Board of Appeals in accordance with rules and procedures established by state law and that board

[Section 8.0880 amended by Ord. #2018-13 passed December 11, 2018]

8.0885 Re-submittal of an Application Previously Denied. An application for a Certificate of Appropriateness which has been denied or an application which was denied and which on appeal has not been reversed by a higher authority, including the Land Use Board of Appeals, the Land Conservation and Development Commission, or the courts, may not be resubmitted for the same or a substantially similar proposal or for the same or substantially similar action for a period of at least two (2) years from the date the final city action is made denying the application unless there is a substantial change in the facts or a change in city policy which would change the outcome

[Section 8.0880 added by Ord. #2018-13 passed December 11, 2018]

8.0890 Enforcement of the Provisions of this Ordinance. Penalties for violations of the provisions of this Ordinance shall be the same as for violation of the City of Redmond Planning Code.

[Section 8.0890 added by Ord. #2018-13 passed December 11, 2018]

CHAPTER 8 DEVELOPMENT REGULATIONS 172

CHAPTER 8 DEVELOPMENT REGULATIONS

Redmond Historic Preservation Code PRESERVATION OF HISTORIC BUILDINGS AND SITES

APPENDIX "A" RATING SHEET

[Appendix “A” amended by Ord. #2011-06 passed May 24, 2011]

[Appendix “A” deleted by Ord. #2018-13 passed December 11, 2018]

APPENDIX "B"

DESIGN REVIEW GUIDELINES ALTERATIONS / ADDITIONS

[Appendix “B” deleted by Ord. #2018-13 passed December 11, 2018]

APPENDIX "C"

DESIGN REVIEW GUIDELINES NEW CONSTRUCTION

[Appendix “C” deleted by Ord. #2018-13 passed December 11, 2018]

APPENDIX "D"

THE FEDERAL REQUIREMENTS OF THE CERTIFIED LOCAL GOVERNMENT

[Appendix “D” deleted by Ord. #2011-06 passed May 24, 2011]

173

ARTICLE II - LAND USE PROCEDURES INTRODUCTORY PROVISIONS

8.1000 Introduction and Application.

1. This title is enacted to provide a uniform procedure for the processing of applications, and determinations by the Planning Division of the City of Redmond Community Development Department under the Redmond Urban Area Comprehensive Plan, land use regulations, subdivision and partition standards and other standards which by their terms incorporate by reference the procedures in this Article. This Article shall be known as the City of Redmond Land Use Procedures.

2. The provisions of this Article do not apply to the issuance, suspension, or revocation of any building, electrical or plumbing permits except as they relate to Planning Division consideration of permitted uses.

8.1005 Definitions. The following definitions apply to this title:

1. Development means any human-caused change to improved or unimproved real estate that requires a permit or approval from any agency of the city or county, including but not limited to buildings or other structures, mining, filling, grading, paving, excavation or drilling operations, landscaping, and storage of materials.

2. Development action includes decisions that do not require exercise of discretion and are based on clear and objective criteria including the following applications:

A. Sign Permits;

B. Lot line adjustments;

C. Temporary use permits; and

D. Other nondiscretionary approvals requiring the application of clear and objective criteria

3. Land use action includes any consideration for approval of a quasi-judicial plan amendment or zone change and any consideration for approval of a land use permit. Land use actions include the following applications:

A. Conditional Use Permits;

B. Alteration or Repair of a Nonconforming Use;

C. Variance;

D. Text or Map Amendment;

E. Declaratory Ruling;

F. Subdivision;

G. Partition;

H. Site and Design Review; and

I. Other applications which require the exercise of discretion or policy judgment in applying and/or interpreting applicable criteria.

4. Legislative changes generally involve broad public policy decisions that apply to other than an individual property owner. These include, without limitation, amendments to the text of the comprehensive plans, zoning standards, or the subdivision & partition standards and changes in comprehensive plan and zoning maps not directly affecting individual property owners.

5. Property Owner. For the purpose of this section, the term "property owner" shall mean the owner of record or the contract purchaser and does not include a person who holds a security interest.

CHAPTER 8 DEVELOPMENT REGULATIONS 174

6. Quasi-judicial zone change or plan amendment generally refers to a plan amendment or zone change directly affecting individual property owners and involves the application of existing policy to a specific factual setting. There are three factors that must be analyzed to distinguish the difference between a legislative change and a quasi-judicial change. These three factors are: (1) whether the request is bound to result in a decision, (2) whether the request requires the application of specific criteria, and (3) the size of the area and the number of people affected by the decision. In most cases the conclusion is based on the answer to the third question.

[Section 8.1005 amended by Ord. #2020-15 passed November 10, 2020]

8.1010 Application Requirements.

1. Applications for development or land use actions shall:

A. Be submitted by the property owner or a person who represents in writing that he or she has authority from the property owner as defined herein to make the application;

B. Be completed on a form prescribed by the Community Development Director, or designee;

C Be filed with a Trip Generation Report or Transportation Impact Analysis, approved by City Engineering, when required per Section 8.2815;

D Be filed with a narrative statement or Burden of Proof, explaining how the application satisfies each and all of the relevant criteria and standards in sufficient detail for review and decision-making; and

E Be accompanied by the appropriate filing fee.

2. Failure to include any of the required information may lead to a determination the application is incomplete and may be rejected.

3. Acceptance of an application indicates only that the application is ready for processing and review.

4. Applications for uses or development that are not authorized under Section 8.0060 will not be accepted.

[Section 8.1010 amended by Ord. #2020-15 passed November 10, 2020]

[Section 8.1010 amended by Ord. #2022-09 passed December 13, 2022]

8.1015 Incomplete Applications.

1. If an application is incomplete, the Community Development Director, or designee, shall, within thirty (30) days of receipt of the application, notify the applicant in writing of exactly what information is missing.

[Section 8.1015 amended by Ord. #2020-15 passed November 10, 2020]

8.1020 False Statements on Application and Supporting Documents. If the applicant or the applicant's representative or apparent representative makes a misstatement of fact on the application regarding property ownership, authority to submit the application, acreage, or any other fact material to the acceptance of the application, and such misstatement is relied upon by the Community Development Director, or designee, or Hearings Body in making a decision whether to accept the application, the Community Development Director, or designee, may upon notice to the applicant and subject to an applicant's right to a hearing declare the application void.

CHAPTER 8 DEVELOPMENT REGULATIONS 175

8.1025 Conditions of Approval. The City may require conditions of approval to any application as are necessary to assure compliance with applicable criteria as provided under the Redmond Development Code and Comprehensive Plan where applicable. Violation of a condition of approval will be treated as a violation of the Redmond Development Code and is subject to enforcement under Section 8.1725.

[Section 8.1025 amended by Ord. #2013-06 passed April 9, 2013]

8.1030 Withdrawal of Application. An application may be formally withdrawn in writing by the property owner, the applicant, or applicant=s representative at any time prior to the City=s final written decision. Receipt by the City of a written request to withdraw the applications is final. Such request shall include a written statement waiving any statutory rights to pursue a writ of mandamus as provided under state law. A withdrawn application that is resubmitted to the City will be treated as a new application.

8.1035 Time Computation Except as otherwise provided, the time within which an act is required to be done shall be computed by excluding the first day and including the last day, unless the last day is a Saturday, Sunday, legal holiday, or any day on which the city is not open for business pursuant to city ordinance, in which case it shall also be excluded.

CHAPTER 8 DEVELOPMENT REGULATIONS 176

LEGISLATIVE PROCEDURES

8.1100 Legislative Procedures. The following legislative procedures are established. No legislative change shall be adopted without review and approval by the City Council.

8.1105 Hearing Required. Public hearings before the Planning Commission or Hearings Officer shall be set at the discretion of the Community Development Director, or designee, unless otherwise required by State law.

8.1110 Notice.

1. Published notice.

A. Notice of a legislative change shall be published in a newspaper of general circulation in the City at least ten (10) days prior to each public hearing.

B. The notice shall state the time and place of the hearing and contain a statement describing the general subject matter of the ordinance under consideration.

2. Posted Notice. Individual notice to property owners, as defined in Section 8.1010 (1) herein, shall be provided at the discretion of the Community Development Director, or designee.

8.1115 Initiation of Legislative Changes. A legislative change may be initiated by application of individuals upon payment of required fees, or by the City Council, Planning Commission, or Community Development Director

[Section 8.115 amended by Ord. #2022-09 passed December 13, 2022]

8.1120 Hearings Body.

1 The following shall serve as hearings or review body for legislative changes in this order:

A The Planning Commission or Hearings Officer.

B. The City Council.

2 Any legislative change initiated by the City Council shall be reviewed by the Planning Commission or Hearings Officer prior to action being taken by the Council.

[Section 8.1120 amended by Ord. #2020-15 passed November 10, 2020]

8.1125 Final Decision. All legislative changes shall be adopted by ordinance.

CHAPTER 8 DEVELOPMENT REGULATIONS 177

DEVELOPMENT ACTION

8.1200 Development Action Procedures. The following development action procedures are established:

8.1205 Review of Development Action Applications.

1. Development Director, or designee, without public notice or hearing.

2. The Community Development Director, or designee, has the discretion to determine that for the purposes of this title a development action application should be treated as if it were a land use action application.

8.1210 Decision.

1. Development action applications acted upon without notice or hearing should be approved or denied by the Community Development Director, or designee, within 30 days of acceptance of a complete application

2 Notice of a decision shall be provided to the applicant or the applicant's representative and to the Planning Commission.

3 The decision may be appealed in accordance with Sections 8.1500 through 8.1530 herein.

4 A development action decision becomes final when no further local appeal under this title is possible

[Section 8.1210 amended by Ord. #2020-15 passed November 10, 2020]

[Section 8.1210 amended by Ord. #2022-04 passed June 28, 2022]

8.1215 Review of Development Action.

1 A review of a development action may be initiated by three or more members of the Planning Commission or City Council

2 The review shall be initiated in writing within twelve (12) days of the date of the staff decision.

CHAPTER 8 DEVELOPMENT REGULATIONS 178

LAND USE ACTION

8.1300 Review of Land Use Action Applications. Land use action applications shall be reviewed in accordance with the procedure set forth herein.

8.1305 Action on Land Use Action Applications.

1. The Community Development Director, or designee, may decide upon a land use action application for other than a Comprehensive Plan amendment and zone change administratively either with prior notice, as prescribed under Section 8.1310, or without prior notice, as prescribed under Section 8.1315, or he or she may refer the application to the Hearings Body for hearing.

2. The Community Development Director or Community Development Director’s designee’s choice between or among administrative or hearing procedures to apply to a particular application or determination shall not be an appeal able decision.

3. Zone change and plan amendment applications shall be referred to a hearing before the Hearings Body.

[Section 8.1305 amended by Ord. #2020-15 passed November 10, 2020]

8.1310 Administrative Land Use Decisions with Prior Notice.

1 Notice of the application shall be sent within ten (10) days of acceptance of the application to persons and parties entitled to notice under Section 8.1335 herein. Such notice shall include all the information specified under Section 8.1340 except for those items specified in Subsections (g) and (j) unless the decision is referred to a hearing.

2 Any person may comment in writing on the application within fourteen (14) days from the date notice was mailed or a longer period as specified in the notice.

3 Notice of the decision and the appeal period shall be sent to all parties and members of the Planning Commission

4 The applicant and persons commenting as provided in this section constitute interested parties to the administrative decision Any interested party can appeal the decision in accordance with Sections 8.1500 through 8.1560 herein.

[Section 8 1310 amended by Ord. #2020-15 passed November 10, 2020]

[Section 8.1310 amended by Ord. #2022-09 passed December 13, 2022]

8.1315 Administrative Decision without Prior Notice. The procedures for administrative decisions without prior notice shall be the same as those set forth in Section 8.1310 herein, except that:

1. No prior notice shall be given, and

2. The notice of decision shall contain the applicable information required by Section 8.1340 herein.

8.1320 Application and Supporting Documents. Except as provided for in Section 8.1370 herein, all documents or evidence relied upon by an applicant for a land use approval shall be submitted to the Planning Division as part of the application and be made available to the public at the time notice is provided under Section 8.1335 herein.

CHAPTER 8 DEVELOPMENT REGULATIONS 179

8.1321 Modification of Application.

1. An applicant may modify an application at any time during the approval process up until the issuance of an administrative decision, or close of the record for an application reviewed under a hearings process.

2. The Hearings Body shall not consider any evidence submitted by or on behalf of an applicant that would constitute modification of an application (as defined) unless the applicant submits an application for a modification, pays all required modification fees and agrees in writing to restart the 120-day review requirement as of the date the modification is submitted. The shot clock for an application, as modified, may be restarted as many times as there are modifications.

3. The Hearings Body may require that the application be re-noticed, and additional hearings be held.

4. Up until the day a hearing is opened for receipt of oral testimony, the Community Development Director, or designee, shall have sole authority to determine whether an applicant's submittal constitutes a modification. After such time, the Hearings Body shall make such determinations. The Hearings Body's determination on whether a submittal constitutes a modification shall be appealable only to LUBA and shall be appealable only after a final decision is entered on an application.

[Section 8.1320 amended by Ord. #2022-04 passed June 28, 2022]

[Section 8.1320 amended by Ord. #2022-09 passed December 13, 2022]

8.1325 Filing of Staff Report for Hearing.

1 At the time an application, that in the judgment of the Community Development Director or Community Development Director’s designee requires a hearing, is complete, a hearing date shall be set.

2 Whenever possible, a draft staff report should be made available seven (7) days prior to hearing.

3 As required by state statute, a copy of the final staff report shall be made available to the applicant, made available to such other persons who request a copy.

4 Oral or written modifications and additions to the staff report shall be allowed prior to or at the hearing.

[Section 8 1325 amended by Ord. #2020-15 passed November 10, 2020]

8.1330

Hearings Body.

1 At the discretion of the Community Development Director, or designee, the following shall serve as the Hearings Body in this order:

A. Planning Commission or Hearings Officer.

B. City Council.

[Section 8.1330 amended by Ord. #2020-15 passed November 10, 2020]

8.1335

Notice.

1. Individual Mailed Notice. Except for a legislative action, notice shall be sent by mail to the following persons, and for a hearing provided twenty (20) days prior:

A. The applicant.

CHAPTER 8 DEVELOPMENT REGULATIONS 180

B. Owners of record of property as shown on the most recent property assessment roll of property located within at least one hundred feet (100') of the property which is the subject of the application. For the purpose of determining property notification, intervening public and private ways and water courses shall not be considered.

C. All owners of property located within two hundred fifty feet (250') of the property which is the subject of a Plan Amendment application or zone change application.

D. The tenants of a mobile home park when the application is for the re-zoning of any park or all of a mobile home park.

E. The failure of a property owner to receive mailed notice shall not invalidate any land use approval.

2. Posted Notice.

A. Notice of a hearing should be posted by the applicant on the property for twenty (20) days prior to the hearing. Such notice should where practicable, be visible from an adjacent street.

B. At least twenty (20) days prior to any initial hearing, the applicant shall provide an affidavit attesting to the fact that notice has been posted as recommended by this section.

3 Published Notice. In addition to notice by mail and posting, notice of a hearing shall be published in a newspaper of general circulation in the city at least ten (10) days prior to the hearing.

[Section 8.1335 amended by Ord. #2022-09 passed December 13, 2022]

8.1340 Contents of Notice.

1 Notice under Section 8.1335 shall:

A. Describe the nature of the applicant's request and the nature of the proposed uses that could be authorized

B. List the criteria from the zoning ordinance and the plan applicable to the application at issue

C. Set forth the street address or easily understood geographical reference to the subject property.

D. State the date, time and location of the hearing or date by which written comments must be received

E. State that any person may comment in writing and include a general explanation of the requirements for submission of testimony and the procedures for conduct of testimony.

F. If a hearing is to be held, state that any interested person may appear.

G State that failure to raise an issue in person at a hearing or in writing precludes appeal by that person to the Land Use Board of Appeals (LUBA), and that failure to provide sufficient specificity to afford the decision maker an opportunity to respond to the issue precludes appeal to LUBA based on that issue.

H. State the name of the City Planner to contact and the telephone number where additional information may be obtained.

I. State that a copy of the application, all documents and evidence relied upon by the applicant and applicable criteria are available for inspection at no cost and copies will be provided at reasonable cost.

J. State that a copy of the staff report will be available for review at no cost at least seven (7) days prior to the hearing and copies will be provided at reasonable cost.

2. All mailed and published notices for hearings shall contain a statement that recipients may request a copy of the staff report.

CHAPTER 8 DEVELOPMENT REGULATIONS 181

8.1345 Limitation on Oral Presentations. The Hearings Body may set reasonable time limits on oral testimony.

8.1350 The Hearings Record shall include.

1. A digital record of the hearing shall be made.

2. All exhibits presented shall be marked to show the identity of the person offering the exhibit.

3. All exhibits shall be dated and numbered in the order presented.

4. When exhibits are introduced, the exhibit number or letter shall be read into the record.

[Section 8.1350 amended by Ord. #2020-15 passed November 10, 2020]

8.1355 Hearings Procedure. A hearing shall be conducted as follows:

1. The Hearings Body shall explain the purpose of the hearing and announce the order of proceedings, including reasonable time limits on presentations by parties.

2. A statement by the Hearings Body regarding ex parte contacts, bias, and conflicts of interest shall be made.

3 Any facts received, noticed, or recognized outside of the hearing shall be stated for the record.

4 Challenges to the Hearings Body's qualifications to hear the matter shall be stated and challenges entertained.

5 The Hearings Body shall list applicable substantive criteria, explain that testimony and evidence must be directed toward those criteria or other criteria in the comprehensive plan or land use regulations that the person believes to apply to the decision, and that failure to address an issue accompanied by statements or evidence sufficient to afford the decision maker and the parties an opportunity to respond to the issue precludes appeal to LUBA based on that issue. State that failure of the applicant to raise constitutional or other issues relating to proposed conditions of approval with sufficient specificity to allow the local government or its designee to respond to the issue precludes an action for damages in circuit court

6 Order of presentation:

A. Open the hearing.

B. Staff report.

C. Proponents' presentation.

D. Opponents' presentation.

E. Proponents' rebuttal.

F. Opponents' rebuttal may be allowed at the Hearings Body's discretion.

G. Staff comment.

H. Questions from or to the chair may be entertained at any time at the Hearings Body's discretion.

I. Close of hearing.

J. Deliberation

7. The record shall be available for public review at the hearing.

8.1360 Land Use Action Decisions.

1. Approval or denial of a land use action shall be based upon and accompanied by a brief statement that explains the criteria and standards considered relevant to the decision,

CHAPTER 8 DEVELOPMENT REGULATIONS 182

states the facts relied upon in rendering the decision and explains the justification for the decision based upon the criteria, standards, and facts set forth.

8.1365 Notice of Decision. A Hearings Body's decision shall be in writing and mailed to all parties; however, one person may be designated by the Hearings Body to be the recipient of the decision for a group, organization, group of petitioners or similar collection of individual participants.

8.1370 Decision on Plan Amendments and Zone Changes.

1. The City Council shall have final authority to make decisions on all quasi-judicial zone changes and plan amendments. The Planning Commission recommendation to the City Council shall be part of the hearing record.

8.1375 Review by Planning Commission and City Council.

1. Review of a decision by the Community Development Director, or designee or a Hearings Body's decision may be initiated by not less than three members of either the Planning Commission or the City Council.

2 The review shall be initiated in writing and delivered to the Community Development Department within twelve (12) days of the date of the mailing of the final written decision of the Community Development Director or lower Hearings Body.

3 Review shall be conducted in the same manner provided for in appeals, except that an appeal fee and transcript shall not be required.

8.1380 Proposed Findings and Conclusions. The Hearings Body may require that any prevailing party draft a set of proposed findings and conclusions.

8.1400

Modifications of Approval.

1. Modifications.

A. A Modification shall be processed as an Administrative Land Use Action as provided for in Section 8.1300 - 1315. Modifications are requests for revision or deletion of a condition of approval or a change to a site development plan that is the result of changed circumstances, an error in the original decision or inconsistency with the current code.

B. The applicant for a modification shall include reasons for the modification and demonstrate that the request is consistent with the provisions of the code and is necessary due to a change of circumstances, an error in the original decision or inconsistency with the current code.

C An application as a modification to an approval shall be directed to one or more specific aspects of the approval. The review shall be limited to the criteria applicable to that particular aspect of the proposal.

D. Proposals that would modify an approval in multiple areas with a scope greater than allowable as a modification shall be treated as an application for a new proposal.

E. Modifications shall not be accepted in such cases where a variance would be required. (Added 2/98)

2. Alteration to an Approved Plan:

A. Minor Alteration to an approved Site Plan or Preliminary Plat shall be processed as a Development Action provided for in Section 8.1205. Examples of such alterations include:

CHAPTER 8 DEVELOPMENT REGULATIONS 183

1. Minor shifting of building location such that no setback is violated.

2. Minor shifting of street alignments or easements which do not add or delete intersections or diminish road connectivity.

3. Minor amendments to lot lines such that no new lots are created, and all lots continue to meet lot size and frontage requirements.

4. Minor changes to landscaping species or location of plant materials such that there is no change to the aesthetic improvement qualities of the landscaping.

5. Minor changes to the building design including roof line.

6. Minor amendments to phasing plans that would have no adverse effect on the phasing of public improvements.

B. Proposed changes to an approved Land Use Action shall be submitted in writing to the Community Development Department for approval. The department director shall grant approval to the proposed changes if it is determined that the change does not substantially alter the previous approval previously given, or the final conditions of approval. If the director determines the proposed change does constitute a substantial alteration or a violation of the conditions the proposal shall be processed as a modification or in the same manner as a new application.

C. The decision may be appealed in the same manner as provided in Section 8.15001530.

D An Alteration can only be considered if there are non-substantive changes in the outward appearance of the development, impact on the surrounding properties is minimal, and the alteration is consistent with the conditions of the original approval and applicable criteria.

[Section 8.1400 amended by Ord. #2020-15 passed November 10, 2020]

184
CHAPTER 8 DEVELOPMENT REGULATIONS

APPEALS

8.1500 DEFINITIONS: the following definitions shall apply:

1. City Council shall mean the Redmond City Council

2. Planning Division shall mean the Planning Division of the Community Development Department of the City of Redmond.

3. De Novo Review shall mean that both old and new testimony or information may be presented at the hearing.

4. On the Record Appeal shall mean that the review is based only on testimony or information presented at the lower body’s proceedings.

[Section 8.1500 amended by Ord. #2020-15 passed November 10, 2020]

8.1505 Who May Appeal.

1. The following persons may file an appeal:

A. A party on record;

B. In the case of an appeal of an administrative decision without prior notice, a person entitled to notice; and

C. A person entitled to notice and to whom no notice was mailed.

2. A person to whom notice is mailed is deemed notified, even if notice is not received

[Section 8.1505 amended by Ord #2020-15 passed November 10, 2020]

8.1510 Filing Appeals.

1. To file an appeal, an appellant must file a completed notice of appeal on a form prescribed by the Planning Division, accompanied by the required appeal fee, and a transcript preparation fee for any hearing appealed from.

2. The notice of appeal and appeal fee must be received at the offices of the City of Redmond Community Development Department no later than 5 p.m. on the twelfth day following mailing of the decision Notices of Appeals may not be filed by facsimile machine.

3. If the City Council is the review authority and the Council declines review, a portion of the appeal fee may be refunded. The amount of any refund will depend upon the actual costs incurred by the City in reviewing the appeal

[Section 8.1510 amended by Ord. #2020-15 passed November 10, 2020]

8.1515 Notice of Appeal. Notice of appeal shall include:

1. A statement raising any issue relied upon for appeal with sufficient specificity to afford the hearings body an adequate opportunity to respond to and resolve each issue in dispute.

2. If the City Council is the review authority, a request for review by the City Council stating the reasons why the City Council should review the lower review authority’s decision.

3. If the City Council is the review authority and de novo review is desired, a request by the applicant for de novo review shall state the reasons why the City Council should provide such review.

[Section 8.1515 amended by Ord. #2020-15 passed November 10, 2020]

[Section 8.1515 amended by Ord. #2022-09 passed December 13, 2022]

CHAPTER 8 DEVELOPMENT REGULATIONS 185

8.1520 Determination of Jurisdictional Defects.

1. Any failure to conform to the requirements of Sections 8.1510 and 8.1515 shall constitute a jurisdictional defect and render the appeal void.

[Section 8.1520 amended by Ord. #2020-15 passed November 10, 2020]

8.1525 Transcript Requirement. Except as otherwise provided in this section, the appellants shall pay for a complete transcript of any appealed hearing.

[Section 8.1525 amended by Ord. #2020-15 passed November 10, 2020]

8.1530 Consolidation of Multiple Appeals.

1. If more than one party files a notice of appeal on a land use action decision, the appeals shall be consolidated and noticed and heard as one proceeding.

2. To the extent its costs are less because multiple appeals are filed, the Planning Division may refund a portion of the appeal fees to the appellants in an equitable manner.

3. In instances of multiple appeals where separate appellants have asked for a differing scope of review, any grant of de novo review shall control over a separate request for a more limited review on appeal.

4. In instances of multiple appeals, all appellants shall share equally the costs of providing a complete transcript of any hearing appealed from. (Amended 9/2000)

8.1535 Scope of Review.

1. Before hearings officer or planning commission: The review on appeal before the hearings officer or planning commission shall address all issues properly raised consistent with Section 8.1515 and shall be de novo. Additional issues not expressly provided for in the notice of appeal may be addressed at the discretion of the hearings officer or planning commission

2. Before the City Council:

A. Review before the City Council, if accepted, shall be on the record The City Council may decide on its own to hear a timely filed appealed de novo.

8.1540 Hearing on Appeal.

1. The appellant and interested parties who have commented as part of the record to the decision shall be mailed notice of the hearing on appeal at least twenty (20) days prior to any de novo hearing or deadline for submission of written arguments

2. The appeal shall be heard as provided in Section 8.1355 of the RDC.

3. The order of hearings body shall be as provided in Section 8.1330 of the RDC.

4. The record of the proceeding from which appeal is taken shall be a part of the record on appeal.

5. The record for a review on the record shall consist of the following:

A. A written transcript of any prior hearing or meeting;

B. All written and graphic materials that were part of the record below;

C. The hearings body decision appealed from;

D. Written arguments, based upon the record developed below, submitted by any party to the decision;

CHAPTER 8 DEVELOPMENT REGULATIONS 186

E. Written comments submitted by the planning commission or individual planning commissioners, based upon the record developed below; and

F. A staff report and staff comment based on the record.

6. In a review on the record, testimony shall be limited to arguments based on evidence in the record, no new oral or written evidence may be submitted except as otherwise permitted by the Hearings Body.

[Section 8.1540 amended by Ord. #2020-15 passed November 10, 2020]

[Section 8.1540 amended by Ord. #2022-09 passed December 13, 2022]

8.1545 Declining Review. When there is an appeal of a land use action, and the City Council is the review authority:

1. The City Council may on a case-by-case basis or by standing order for a class of cases decide at a public meeting that the decision of the lower review authority of an individual land use action or a class of land use action decisions shall be the final decision of the City.

2. If the City Council decides that the lower review authority decision shall be the final decision of the City, then the City Council shall not hear the appeal and the party appealing may continue the appeal as provided by law. In such a case, the City shall provide written notice of its decision to all parties. The decision on the land use application becomes final upon mailing of the City Council=s decision to decline review.

3. The decision of the City Council not to hear a land use action appeal is entirely discretionary.

[Section 8.1545 amended by Ord. #2020-15 passed November 10, 2020]

8.1550 Development Action Appeals Notice of the hearing date set for appeal shall be sent only to the applicant. Only the applicant, his or her representatives, and his or her witnesses shall be entitled to participate. Continuances shall be at the discretion of the hearings body, and the record shall close at the end of the hearing.

8.1560 Withdrawal of an Appeal. An appeal may be withdrawn in writing by an appellant at any time prior to the rendering of a final decision. Subject to the existence of other appeals on the same application, in such event the appeal proceedings shall terminate as of the date the withdrawal is received. An appeal may be withdrawn under this section regardless of whether other non-filing parties have relied upon the appeal filed by the appellant. (Added 9/2000) Once an appeal is withdrawn, the effective date of the decision will be as provided in the original decision. Where no effective date is provided, any land use decision shall be final as of 21 days from the mailing date of the notice of final decision. Where the decision requires the adoption of an ordinance, the effective date shall be as provided in the language of the ordinance and consistent with the Redmond City Charter.

CHAPTER 8 DEVELOPMENT REGULATIONS 187

LIMITATIONS ON APPROVALS

8.1600 Limitations on Approvals. The following limitations on approvals are applicable.

8.1605 Duration of Approval. All land use approvals shall be valid for a period of two years unless a longer duration is granted as part of the approval. The two year period shall run from the date a land use approval is no longer appealable.

8.1610 Approval Extension. Extensions beyond two (2) years may be approved by the Community Development Director, or designee, or Hearings Body for periods of one (1) year, up to an aggregate of two (2) additional years provided that; no code changes which may be contrary to the original decision have occurred relative to that proposal, and there has been no new development since the original approval on any adjacent property. Such extensions shall be administrative, in writing, and not subject to appeal. (3/99)

8.1620 Additional Approval Time Extension.

[Section 8.1620 added by Ord. #2009-08 passed August 11, 2009]

[Section 8.1620 amended by Ord. #2011-04 passed May 24, 2011]

[Section 8.1620 amended by Ord. #2013-07 passed June 11, 2013]

[Section 8.1620 amended by Ord. #2014-07 passed March 25, 2014]

[Section 8.1620 deleted by Ord. #2020-15 passed November 10, 2020]

CHAPTER 8 DEVELOPMENT REGULATIONS 188

8.1700 Availability of Declaratory Ruling.

1. Subject to the other provisions of this section, there shall be available for the City's comprehensive plan, zoning standards, subdivision and partition standards, site and design standards, sign standards and this Article a process for:

A. Interpreting a provision of a comprehensive plan or ordinance (and other documents incorporated by reference) in which there is doubt or a dispute as to its meaning or application;

B. Interpreting a provision or limitation in a land use permit issued by the City or quasijudicial plan amendment or zone change in which there is doubt or a dispute as to its meaning or application;

C. Determining whether an approval has been initiated or considering the revocation of a previously issued land use permit, quasi-judicial plan amendment or zone change;

D. Determining the validity and scope of a nonconforming use; and,

E. Determination of other similar status situations under a comprehensive plan, zoning ordinance or land division ordinance that do not constitute the approval or denial of an application for a permit. Such a determination or interpretation shall be known as a "declaratory ruling" and shall be processed in accordance with this section. In all cases, as part of making a determination or interpretation the Community Development Director, or designee, (where appropriate), or Hearings Body (where appropriate) shall have the authority to declare the rights and obligations of persons affected by the ruling.

2. A declaratory ruling shall be available only in instances involving a fact-specific controversy and to resolve and determine the particular rights and obligations of particular parties to the controversy. Declaratory proceedings shall not be used to grant an advisory opinion Declaratory proceedings shall not be used as a substitute for seeking an amendment of general applicability to a legislative enactment.

3. Declaratory rulings shall not be used as a substitute for an appeal of a decision in a land use action or for a modification of an approval.

4. The Community Development Director, or designee, may refuse to accept and the Hearings Body may deny an application for a declaratory ruling if:

A. The Community Development Director, or designee, or Hearings Body determines that the question presented can be decided in conjunction with approving or denying a pending land use action application or if in the Community Development Director, or designee, or Hearings Body’s judgment the requested determination should be made as part of a decision on an application for a quasi-judicial plan amendment or zone change or a land use permit not yet filed; or

B. The Community Development Director, or designee, or Hearings Body determines that there is an enforcement case pending in district or circuit court in which the same issue necessarily will be decided as to the applicant and the applicant failed to file the request for a declaratory ruling within two weeks after being cited or served with a complaint. The Community Development Director, or designee, or Hearings Body determination to not accept or deny an application under this section shall be the City’s final decision.

[Section 8.1700 amended by Ord. #2020-15 passed November 10, 2020]

CHAPTER 8 DEVELOPMENT REGULATIONS 189
DECLARATORY RULING

8.1705 Persons Who May Apply for a Declaratory Ruling.

1. Section 8.1010 notwithstanding, the following persons may initiate a declaratory ruling under this chapter:

A. The owner of a property requesting a declaratory ruling relating to the use of the owner's property;

B. In cases where the request is to interpret a previously issued quasi-judicial plan amendment, zone change or land use permit, the holder of the permit; or

C. In all cases arising under Section 8.1700, the Community Development Director, or designee.

2. A request for a declaratory ruling shall be initiated by filing an application with the Planning Division and, except for applications initiated by the Community Development Director, or designee, shall be accompanied by such fees as have been set by the Community Development Department. Each application for a declaratory ruling shall include the precise question on which a ruling is sought. The application shall set forth whatever facts are relevant and necessary for making the determination and such other information as may be required by the Community Development Department.

8.1710 Procedures. Except as set forth in this section or in applicable provisions of the zoning standards, the procedures for making declaratory rulings shall be the same as set forth in this title for land use actions. Where the City is the applicant, the City shall bear the same burden that applicants generally bear in pursuing a land use action.

[Section 8.1710 amended by Ord. #2020-15 passed November 10, 2020]

8.1715 Effect of Declaratory Ruling.

1. A declaratory ruling shall be conclusive on the subject of the ruling and bind the parties thereto as to the determination made

2. Parties to a declaratory ruling shall not be entitled to reapply for a declaratory ruling on the same question.

8.1720 Interpretation. Interpretations made under this chapter shall not have the effect of amending the interpreted language. Interpretation shall be made only of language that is ambiguous either on its face or in its application. Any interpretation of a provision of the comprehensive plan or other land use ordinance shall consider applicable provisions of the comprehensive plan and the purpose and intent of the ordinance as applied to the particular section in question.

8.1725 Enforcement.

1. It shall be the duty of the Community Development Director or designated representative to administer and enforce the provisions of these standards in such a way as to carry out its intent and purpose.

2. Violation of any provisions of these standards is a Class A Civil Infraction and/or a Class A administrative infraction and shall be enforced through the procedures established in sections 2.750 to 2.799.

3. Each day that a nuisance continues to exist constitutes a separate violation, and a separate penalty may be assessed for each day the violation continues.

CHAPTER 8 DEVELOPMENT REGULATIONS 190

4 Violation of these standards is hereby declared a nuisance and may be subject to abatement, removal or other remedy provided in the City of Redmond nuisance code under Section 5.345.

5. When any real property is or is proposed to be used, transferred, sold or disposed of in violation of these standards, the Community Development Director, designee, or any person whose interest in the property is or may be affected by the violation, in addition to other remedies provided by law, may institute injunction, mandamus, abatement or other appropriate proceedings to prevent, temporarily or permanently enjoin, abate or set aside such use, transfer, sale, disposition, offer, negotiation or agreement.

6. If any section, subsection, sentence, clause, or phrase of these standards is for any reason held to be invalid or unconstitutional by any court of competent jurisdiction, such decision shall not affect the validity of the remaining portions of these standards.

[Section 8.1725 added by Ord. #2013-06 passed April 9, 2013]

[Section 8.1725 amended by Ord. #2014-05 passed April 8, 2014]

CHAPTER 8 DEVELOPMENT REGULATIONS 191

ARTICLE III. LAND DIVISION STANDARDS INTRODUCTORY PROVISIONS

8.2000 Title. These standards shall be known as the City of Redmond Land Division Standards and may be so cited and plead.

[Section 8.2000 amended by Ord. #2012-11 passed October 23, 2012]

8.2005 Purpose. In accordance with the applicable provisions in the Oregon Revised Statutes (including but not limited to Chapters 92 and 227), these standards set forth the minimum standards governing the approval of land development, including subdivisions and partitions, as necessary to carry out the Redmond Urban Area Comprehensive Plan and to promote the public health, safety, and general welfare. The purposes of these provisions and regulations are to:

1. Encourage well planned subdivision and partition development to the end that good livable neighborhoods with all needed amenities and community facilities may be created

2. Encourage development in harmony with the natural environment and within resource carrying capacities.

3. Safeguard the interest of the public, the developer, and the future lot owner – the Community

4. Improve land records and boundary monumentation

5. Ensure equitable processing of subdivision and partition plats and accomplish to the greatest extent possible the goals and objectives of the Comprehensive Plan for the Redmond Urban Area.

6. Provide for orderly and efficient urban development and coordinate development with public facility and service plans and capabilities.

7. Promote and maximize the conservation of energy by preserving the option to utilize solar energy and to implement the Comprehensive Plan policies relating to solar energy by encouraging the design of new developments to protect future options to use solar energy by providing for and protecting solar access in the following ways:

A. By regulating the orientation of streets, lots, and parcels;

B. By the placement, height, and bulk of buildings;

C. By the placement and growth of vegetation; and,

D. By preserving options for other alternative energy sources, such as wind, that may be available and necessary in the future.

[Section 8.2005 amended by Ord. #2012-11 passed October 23, 2012]

[Section 8.2005 amended by Ord. #2020-15 passed November 10, 2020]

8.2010 Interpretation. No person may subdivide or partition land within the City of Redmond except in accordance with the applicable provisions in Oregon Revised Statutes (including but not limited to Chapters 92 and 227) and the provisions of these standards. The provisions of these standards shall be construed to affect the purposes set forth in Section 8.2005 of these standards. These are declared to be the minimum requirements fulfilling such objectives, and as deemed necessary through the land use review and decision process. The City may impose additional requirements to promote the health, safety, and general welfare, and to carry out the Comprehensive Plan of the City. Where conditions set forth herein are less restrictive than comparative conditions imposed by any other provision of these standards, by provision of other applicable local ordinance, resolution, or

CHAPTER 8 DEVELOPMENT REGULATIONS 192

regulation, or by provision of state statute or administrative regulation, the more restrictive shall govern.

[Section 8.2010 amended by Ord. #2012-11 passed October 23, 2012]

[Section 8.2010 amended by Ord. #2020-15 passed November 10, 2020]

8.2015 Construction and Terminology.

1. Construction. Words used in the present tense include the future tense; words used in the singular include the plural, and words used in the plural include the singular; the word "shall" is mandatory; the words "may" and should are permissive; the masculine shall include the feminine and neuter.

2. Terminology. The word "City" shall mean the City of Redmond, Oregon. The words "City Council" shall mean the City Council of Redmond.

[Section 8.2015 amended by Ord. #2012-11 passed October 23, 2012]

[Section 8.2015 amended by Ord. #2020-15 passed November 10, 2020]

8.2020 Definitions. As used in these standards, the following words and phrases shall mean:

Abut Having a common border with or being separated from such a common border by a right-ofway, including those properties which only connect or touch by a common point.

Access The right to cross between properties, both public and private, allowing pedestrians and/or vehicles to access the public right-of-way

Access, Vehicular. The area where ingress/egress for automobiles is taken between private property and a public right-of-way.

Access Connection. Any driveway, street, turnout, or other means of providing for the movement of vehicles and/or pedestrians to or from the public roadway system.

Access Management. The process of regulating access to streets, roads and highways from public roads and private driveways.

Access Road See Street, Local, Private.

Acreage, gross The total area within a unit of land.

Acreage, net A measure of land area, exclusive of public road rights-of-way, and public use area dedications.

Adjacent. Not abutting but in near proximity.

Adjoining (See Abut)

Adverse Impact. A condition that creates, imposes, aggravates, or leads to inadequate, impractical, unsafe, or unhealthy conditions on a site proposed for development or on off-tract property or facilities.

Affected Governmental Body. A city, county, state or federal agency or special district which either has a jurisdictional interest or is of such proximity to the land partition that a reasonable likelihood of annexation exists.

Affected Person. Any person, including those owners of record of real property located within a minimum distance of 100 feet, exclusive of public street and other rights-of-ways, from the property, and persons who are beneficiaries of CCR’s affecting the proposed land division, subject to a permit required by these zoning standards affected by a decision.

Agent. Any person who represents or acts for any other person in disposing of interests in a land development. Includes a real estate broker as defined in ORS 696.010 (12) but does not include an attorney at law whose representation of another person consist solely of rendering legal services.

CHAPTER 8 DEVELOPMENT REGULATIONS 193

Alley A public or private way reserved and generally used as a means of public access to the back side of a property and not intended for transporting through traffic. Alternate use of an alley is permissible when determined to be in the public interest.

Bicycle Route. A right-of-way for bicycle traffic.

Block. An area of land bounded by streets or by a combination of streets and public parks, cemeteries, railroad rights-of-way or lines, shore lines or waterways, natural topographical barriers, or city limit.

Boundary Line. The property line bounding a lot, parcel or tract that divides one property from another or from a public or private street or other public space.

Boundary Line Adjustment. The relocation or elimination of all or a portion of the common property line between abutting properties that does not create an additional lot or parcel.

Building. A structure built for the support, shelter, or enclosure of persons, animals, chattels, or property of any kind.

Building Envelope. (See Building Line)

Building Line. A line parallel to the street right-of way at any story level of a building on a plat indicating the limit beyond which buildings or structures may not be erected. If no line is shown on the plat, the building line shall be that set forth in the City Zoning Standards. Also known as a building envelope.

City. City Staff, Development Director, Planning Commission, Hearings Officer, or City Council.

Consolidation The removal of lot lines between contiguous lawfully created lots or parcels.

Construction Plans The plans, profiles, cross sections and drawings or reproductions thereof, approved by a registered professional engineer, which show the details of the work to be done on improvements.

Contiguous (See Abut)

Contiguous Land. Units of land under the same ownership which abut, irrespective of roadways, easements, or rights-of-way

Cross-Section A profile of the ground surface perpendicular to the centerline of a street, stream, or valley bottom.

Dedication The transfer of private property to public ownership upon written acceptance.

Development Any human-caused change to improved or unimproved real estate that requires a permit or approval from any agency of the city, county, or state, including but not limited to buildings or other structures, mining, filling, grading, paving of infrastructure, excavation or drilling operations, landscaping, and storage of materials.

Developer. Any person, corporation, partnership, or other legal entity who creates or proposes to create a land development; includes any agent of a developer.

Drainage

1 Surface water runoff;

2. the removal of surface water or groundwater from land by drains, grading, or other means, which include runoff controls to minimize erosion and sedimentation during and after construction or development.

Drainage Easement An easement required for drainage ditches and pipes, are required along a natural stream for the flow of water therein, intended to safeguard the public against flood damage or the accumulation of surface water.

Easement. A right to use a parcel of land by a person or persons who do not own it, for specific purposes, but in which ownership of the land is not transferred.

Egress. Access point for exiting a building, site, or area.

Exaction. Contributions, dedications, and/or payments required to mitigate development impacts as an authorized condition for receiving a development permit.

Feasibility Study. An analysis of a specific project or program to determine whether it can be successfully carried out.

CHAPTER 8 DEVELOPMENT REGULATIONS 194

Frontage. That portion of a parcel of property which abuts a dedicated public street or highway right-of-way or an approved private way (except an alley).

Grade. The average level of the finished surface of the ground adjacent to the exterior of a building.

Grade, Established. The elevation of the ground or infrastructure as officially established by city authority.

Grade, Existing. The surface of the ground or infrastructure at a stated location as it exists prior to disturbance in preparation for a project.

Grade, Finished. The final elevation of the ground surface after man-made alterations, such as grading, grubbing, filling, or excavating, have been made on the ground surface.

Grade, Ground Level. The average of the finished ground level at the center of all walls of a building. In case walls are parallel to and within five feet of a sidewalk, alley or other public way, the above-ground level should be measured at the elevation of the sidewalk, alley, or public way.

Grade, Natural. The elevation of the ground surface that exists or existed prior to man-made alterations, such as grading, grubbing, filling, or excavating.

Grading. Any leveling, stripping, cutting, filling, or stockpiling of earth or land, including the land in its cut, or filled, condition to create new grades.

1 Regular Grading: Any grading that involves 5,000 cubic yards or less of material.

2. Engineered Grading: Any grading that involves more than 5,000 cubic yards of material, or any filling of land that is intended to provide support for structures and or infrastructure.

Hearings Officer. A planning and zoning hearings officer appointed or designated by the City Council pursuant to ORS 227.165 or in the absence of such appointed hearings officer, the Planning Commission.

Impervious Surface Any hard-surfaced area that does not readily absorb or retain water, including but not limited to building roofs, paved parking and driveway areas, sidewalks, and other paved areas.

Improvements. Include, but are not limited to, streets, alleys, curbs, roadbed, road surface, storm drains and appurtenances, sidewalks, streetlights, street signs, fire hydrants, sanitary sewers, and appurtenances, public or private water supply and water distribution systems and other utilities.

Improvement Agreement Any contract, security or agreement that may be required and accepted between the developer and the city to assure that necessary improvements will be constructed and function as required. (See also Performance Guarantee)

Infill Development Development of vacant, parcels of land in otherwise built-up areas.

Ingress Access or entry point or entrance.

Intensity of Use The range or scale or concentration or degree of impact of use, often measured by floor area ratios, building coverage or traffic generation.

Land Division. The subdividing or partitioning of land for any purpose into lots or parcels, or the creation of lots or parcels for the purpose of sale or lease.

Land Division Agreement. An agreement between the City and the developer that is approved as part of the land use review process which lists specifics terms applicable to the development which are recorded against the property. Such agreements are appealable as elements of the land use review and decision.

Land Division, Expedited. A division of land as defined in ORS 197.360.

Land Division, Middle Housing. A partition or subdivision of a lot or parcel on which the development of middle housing is allowed.

Lot. A lawfully created unit of land that is created by a subdivision of land.

Lot Area. The total horizontal surface area within the property lines of a lot, exclusive of streets. Lot, Corner. A lot abutting upon two or more streets other than alleys, at their intersection, or upon two parts of the same street, such streets or parts of same street forming an interior angle of less than 135 degrees within the lot line.

CHAPTER 8 DEVELOPMENT REGULATIONS 195

Lot, Double Frontage An interior lot having frontage on more than one street, or a corner lot having frontage on more than two streets.

Lot, Flag. See Section 8.2705(12).

Lot, Interior. A lot other than a corner lot.

Lot, Irregular. Any lot that is not rectangular in shape.

Lot Line, Front. For an interior lot, the lot line abutting a street other than an alley; for a corner lot, a lot line abutting either street other than an alley. In the case of a corner lot, or double frontage lot, the Community Development Department Director, or designee, shall determine the front lot line. The determination shall be made to provide the necessary public safety and shall be based on street classifications, house and driveway orientation, lot dimensions, and adjacent property use.

Lot Measurements:

1. Depth of a lot shall be considered to be the distance between the midpoints of straight lines connecting the foremost points of the side lot lines in front and the rearmost points of the side lot lines in the rear.

2. Width of a lot shall be considered to be the distance between straight lines connecting front and rear lot lines at each side of the lot, measured across the rear of the required front yard; provided, however, that width between side lot lines at their foremost points (where they intersect with the street line) shall not be less than 80 percent of the required lot width, except in the case of lots on the turning circle of a cul-de-sac, where the 80 percent requirement shall not apply. Flag lot area measurements are exclusive of the area within the flagpole.

Lot Line, Rear The lot line or lines opposite and most distant from the front lot line.

Lot Line, Side. Any lot line or lines that are not a front or rear lot line. An interior side lot line is a lot line common to more than one lot or to the lot and an alley; and exterior side lot line is a lot line common to the lot and a street other than an alley.

Lot, Nonconforming A lot that lawfully existed prior to the enactment of the requirements of these standards, but which does not meet the minimum lot size or lot width requirements.

Lot of Record Any lawfully created unit of land, created as follows:

1. A lot in an existing, duly recorded subdivision;

2 A parcel in an existing, duly recorded land partition; or,

3. An existing unit of land for which a survey has been duly filed which conformed to all applicable regulations at the time of filing; or

4. Any unit of land created by deed description or metes and bounds provided, however, contiguous units of land created by deed description or metes and bounds under the same ownership and not conforming to the minimum parcel size of these standards shall be considered one (1) lot of record

Lot, Through. An interior lot having a frontage on two streets and/or highways, not including an alley. (See also Lot, Double Frontage)

Lot, Width. The horizontal distance between the side lines of a lot measured at right angles to its depth along a straight line parallel to the front lot line at the minimum required setback.

Monument. A permanent and fixed survey marker conforming to the requirements established by state law and the regulations of Deschutes County.

MUTCD. Manual of Uniform Traffic Control Devices, Federal Highway Administration.

Natural Grade. (See Grade, Natural)

Orderly Development and Land Use Patterns. Development that is consistent with a zoning district’s density requirements; does not overtax supporting public facilities and services and logical extensions thereof; provides for continued maintenance of supporting facilities and services; recognizes the topographical limitations; is consistent with existing land use patterns and development; and does not foreclose future development opportunities on adjacent undeveloped or under-developed lands.

CHAPTER 8 DEVELOPMENT REGULATIONS 196

Owner. The owner of the title to real property or the authorized agent thereof having written notarized authorization recorded with the County Clerk, or the contract purchaser of real property of record as shown on the last available complete tax assessment roll or County Clerk's records. Does not include an interest created for security purposes.

Parcel. A unit of land created by a partitioning of land.

Partition. The act of partitioning land or an area or tract of land partitioned.

Partition Land. To divide an area or tract of land into two or three parcels within a calendar year.

Performance Bond. A document issued by a surety, in return for a fee or premium, guaranteeing the performance of the terms and conditions of a development approval.

Performance Guarantee. Any security or contract that may be accepted by a municipality as a guarantee that improvements required as part of an application for development are satisfactorily completed. (See also Improvement Agreement)

Person. An individual, firm, partnership, corporation, company, association, syndicate, or any legal entity, whether he, she or it is acting for himself, herself, or itself, or as the servant, employee, agent, or representative of another.

Phased Development Plan. An overall plan indicating the physical and functional interrelationships between uses and facilities for those projects, series of projects, phased developments or developments occurring over a period of up to five years unless extended

Plat, Final. The final plan of all or a portion of a subdivision plat, partition plat, Planned Unit Development (PUD) that is presented to the approving authority for final approval in accordance with state law and is in accordance with the Tentative Plat and all conditions as approved through the land use review and approval process

Plat, Tentative. A plan, diagram, drawing, replat, or other writing containing all descriptions, specifications, locations, dedications, provisions, and information concerning a subdivision or partition.

Primary Use The intended use to which property is or may be devoted, and to which all other uses on the premises are derived as accessory or secondary uses. As used relative to dwelling units, the primary dwelling would be the first dwelling unit to be located on a specific parcel or lot. Replat The act of platting the lots, parcels and easements in a recorded subdivision or partition plat to achieve a reconfiguration of the existing subdivision or partition plat or to increase or decrease the number of lots in the subdivision.

Reserve Strip. "Reserve Strip" means a strip of land usually one foot in width, reserved across the end of a street or alley terminating at the boundary of a subdivision, or a strip of land between a dedicated street of less than full width and adjacent acreage, in either case reserved or held for future street extension or widening.

Right-of-Way A strip of land acquired by dedication, prescription or condemnation and intended to be occupied by a street, trail, waterline, sanitary sewer, and/or other public utilities or facilities Road. A public or private way that is created to provide vehicular ingress or egress for persons to one or more lots, parcels, areas, or tracts of land. (See also Street)

Sale or Lease. Every disposition or transfer of land in a subdivision or an interest or estate therein, by a subdivider or developer or their agents Includes the offering of land as a prize or gift when a monetary charge or consideration for whatever purpose is required by the subdivider, developer, or their agents.

Series Partitioned Land and Series Partition. A series of partitions of land located within this state resulting in the creation of four or more parcels over a period of more than one calendar year.

Series Partitioner. Any person who causes land to be series partitioned into a series of partitions, or who undertakes to develop a series partition, but does not include a public agency or officer authorized by law to make partitions.

Sidewalk. A pedestrian walkway with permanent surfacing, typically located adjacent to a roadway.

CHAPTER 8 DEVELOPMENT REGULATIONS 197

Slope The degree of deviation of a surface from the horizontal, usually expressed as a percentage or by degrees.

Solar Access. The ability of one property to continue to receive sunlight across property lines without obstruction from buildings and structures constructed on the abutting property to the south

Solar Height Restriction. The allowable height of buildings and structures on a property burdened by the requirement to provide solar access to the abutting property to the north.

Street. A public or private way that is created to provide ingress or egress for persons to one or more lots, parcels, areas, or tracts of land, excluding a private way that is created to provide ingress or egress to such land in conjunction with the use of such land for forestry, mining, or agricultural purposes. (See also Road)

Street, Collector. A restricted access street supplementary to the arterial street system used or intended to be used principally for the movement of traffic between arterial and local streets.

Street, Cul-de-sac. A street having one end open to traffic and terminated by a vehicle turnaround.

Street, Dead End. A street with only one outlet.

Street, Frontage Road. A street parallel and adjacent to a collector or arterial providing access to abutting properties and protected from and protecting through traffic.

Street, Local A street intended primarily for access to abutting properties.

Street, Major Arterial. A street with access control, channelized intersections, restricted parking, and that collects and distributes traffic to and from minor arterial streets.

Street, Minor Arterial. A street with a high volume of traffic that collects and distributes traffic to and from collector streets.

Street, Roadway. That portion of a street developed for vehicular traffic.

Street, Stubbed A street having only one outlet for vehicular traffic, and which is intended to be extended or continued to serve future subdivisions or developments on adjacent lands.

Subdivide Land. To divide an area or tract of land into four or more lots within a calendar year.

Subdivision The act of subdividing land or an area or a tract of land subdivided as defined in this section.

Subdivider. Any person who causes land to be subdivided into a subdivision, or who undertakes to develop a subdivision, but does not include a public agency or officer authorized by law to make subdivisions.

Tract An expanse of land comprised of a single or multiple ownership

Unit. Any magnitude regarded as an independent whole or single entity

Use The word "use" is synonymous with the terms "land use" and "use of land" unless the context clearly indicates otherwise.

Utilities, Private. Include electric, telephone, natural gas and other services providing for energy or communication needs, or privately-owned water systems.

Utilities, Public. Include water and sewer systems owned and operated by the City of Redmond.

Zero Lot Line The location of a building on a lot in such a manner that one or more of the building’s sides rest directly on a lot line.

Zero Lot Line Subdivision. A type of residential subdivision utilizing zero lot lines between dwelling units and providing for individual ownership of each lot, not including condominiums.

[Section 8.2020 amended by Ord. #2012-11 passed October 23, 2012] [Section 8.2020 amended by Ord. #2015-01 passed February 24, 2015]

[Section 8.2020 amended by Ord. #2020-15 passed November 10, 2020]

[Section 8.2020 amended by Ord. #2022-04 passed June 28, 2022]

CHAPTER 8 DEVELOPMENT REGULATIONS 198

GENERAL REQUIREMENTS

8.2100 Procedure. All subdivisions, partitions, and other land use actions subject to the provisions of this Chapter shall be processed in accordance with Article 2, Land Use Procedures, of the City of Redmond Development Code.

[Section 8.2100 added by Ord. #2012-11 passed October 23, 2012]

8.2105 Scope of Regulation. Before a plat of any subdivision or partition may be recorded, the person proposing the subdivision or the partition, or an authorized agent or representative, shall make an application in writing to the Redmond Community Development Department for approval of the proposed subdivision or partition in accordance with the requirements and procedures established by these standards.

[Section 8.2105 amended by Ord. #2012-11 passed October 23, 2012]

8.2110 Minimum Standards. No proposed subdivision or partition shall be approved unless it complies with the density and underground utility requirements of the Redmond Comprehensive Plan, applicable Zoning Standards, standards below, and ORS Chapter 92.

[Section 8.2110 amended by Ord. #2012-11 passed October 23, 2012]

[Section 8.2110 amended by Ord. #2022-04 passed June 28, 2022]

8.2115 Sale. No person shall sell or negotiate to sell any lot in any subdivision or parcel in any partition except in accordance with the applicable provisions of ORS Chapter 92, including but not limited to ORS 92.016, 92.015 and 92.027

[Section 8.2115 amended by Ord. #2012-11 passed October 23, 2012]

8.2120 Delegation. The City Council, pursuant to state statute, hereby delegates to the appropriate hearings or review authority the power to make final action on a proposed subdivision or partition subject to appeal as provided for in Article 2 of the City of Redmond’s Development Code, Land Use Procedures

[Section 8.2120 amended by Ord. #2012-11 passed October 23, 2012]

[Section 8.2120 amended by Ord. #2020-15 passed November 10, 2020]

8.2125 Subdivisions or Partitions in the OSPR Zone. No partitions or subdivisions in the OSPR zone or property that lies both within the OSPR zone and an adjoining zone shall be allowed prior to approval of a master plan for development of the entire parcel pursuant to City of Redmond Development Code Section 8.0270.

[Section 8.2125 amended by Ord. #2012-11 passed October 23, 2012]

8.2130 Enforcement.

1. It shall be the duty of the Community Development Director or designated representative to administer and enforce the provisions of these standards in such a way as to carry out its intent and purpose.

CHAPTER 8 DEVELOPMENT REGULATIONS 199

2. Violation of any provision of these standards is a Class A Civil Infraction and shall be enforced through the Redmond Civil Infraction procedure.

3. Each day that a nuisance continues to exist constitutes a separate violation, and a separate penalty may be assessed for each day the violation continues.

4. Violation of these standards is hereby declared a nuisance and may be subject to abatement, removal or other remedy provided in the City of Redmond nuisance code under Section 5.345.

5. When any real property is or is proposed to be used, transferred, sold or disposed of in violation of these standards, the Community Development Director, designee, or any person whose interest in the property is or may be affected by the violation, in addition to other remedies provided by law, may institute injunction, mandamus, abatement or other appropriate proceedings to prevent, temporarily or permanently enjoin, abate or set aside such use, transfer, sale, disposition, offer, negotiation or agreement.

6. If any section, subsection, sentence, clause, or phrase of these standards is for any reason held to be invalid or unconstitutional by any court of competent jurisdiction, such decision shall not affect the validity of the remaining portions of these standards.

[Section 8.2130 added by Ord. #2012-11 passed October 23, 2012]

[Section 8.2130 amended and renamed by Ord. #2013-06 passed April 9, 2013]

8.2135 Violation Declared a Nuisance.

[Section 8.2135 added by Ord. #2012-11 passed October 23, 2012]

[Section 8.2135 deleted by Ord. #2013-06 passed April 9, 2013]

8.2140 Civil Relief.

[Section 8.2140 added by Ord. #2012-11 passed October 23, 2012]

[Section 8.2140 deleted by Ord. #2013-06 passed April 9, 2013]

8.2145 Administration of Standards.

[Section 8.2145 added by Ord. #2012-11 passed October 23, 2012]

[Section 8 2145 deleted by Ord. #2013-06 passed April 9, 2013]

8.2150 Severability.

[Section 8.2150 added by Ord. #2012-11 passed October 23, 2012]

[Section 8.2150 deleted by Ord. #2013-06 passed April 9, 2013]

CHAPTER 8 DEVELOPMENT REGULATIONS 200

SUBDIVISION APPLICATION PROCEDURE

8.2200 Pre-Application Meeting. Prior to submitting a tentative subdivision plat each applicant or their representative is required to meet with the Community Development Director or a designated staff member(s) to review the proposal.

[Section 8.2200 amended by Ord. #2012-11 passed October 23, 2012]

8.2202 Neighborhood Meeting. Proof of a neighborhood meeting was conducted for residential or mixed use development proposals that generate 200 or more daily trip ends, or 20 or more p.m. peak hour trip ends, where a Transportation Impact Analysis (TIA) is required. See Section 8.0385 for meeting requirements.

[Section 8.2202 added by Ord. #2022-09 passed December 13, 2022]

8.2205 Application Submission. Any person, authorized agent, or representatives, proposing a subdivision, shall include with an application and filing fee for a subdivision, a tentative plat together with improvement plans and other supplementary material as may be required.

[Section 8.2205 amended by Ord. #2012-11 passed October 23, 2012]

8.2210 Scale of Tentative Subdivision Plat. The tentative plat of a proposed subdivision shall be drawn on a sheet at an engineer’s scale not greater than one inch per 100 feet, or as approved by the Community Development staff.

[Section 8.2210 amended by Ord #2012-11 passed October 23, 2012]

8.2215 Informational Requirements. The following information shall be shown on the tentative plat or provided in accompanying materials. No tentative plat shall be considered complete unless all such information is provided:

1. General information required:

A. Proposed name of the subdivision.

B. Names, address, and phone numbers of the owner of record, authorized agents or representatives, engineer or surveyor, and any assumed business names filed or to be filed with the Oregon Secretary of State Corporation Division by the applicant. If the application is filed by anyone other than the owner of record, a letter or other evidence of the owner’s permission to file the application.

C. Date of plat preparation, north and magnetic north and south, scale and gross area of the proposed subdivision.

D. Appropriate identification of the drawing as a tentative plat for a subdivision. Location and tract designation sufficient to define its location and boundaries, and a legal description of the tract boundaries in relation to existing plats and streets.

E. Certified copy of the recorded instrument under which the applicant claims an ownership interest, or copy of a land sales contract, which binds the applicant in the event of tentative approval.

F. Title report or subdivision guarantee, issued within the last ninety (90) days, and supporting documentation of all easements identified on the property.

2. Information concerning existing conditions:

A. Location, names, and widths of existing improved and unimproved public or private streets and roads within and adjacent to the proposed subdivision.

8 DEVELOPMENT
201
CHAPTER
REGULATIONS

B. Location of any existing features such as section lines, section corners, City and special district boundary lines, and survey monuments.

C. Location of existing structures, irrigation canals and ditches, pipelines, waterways, railroads, and any natural features such as rock outcroppings, marshes, wooded areas, and natural hazards.

D. Location and direction of water courses, and the location of areas subject to flooding and high water tables.

E. Location, width and use or purpose of any existing easement or right-of-way within and adjacent to the proposed subdivision.

F. Existing sewer lines or septic tanks and drain fields, water mains, wells, fire hydrants, culverts, and other underground and overhead utilities within and adjacent to the proposed subdivision together with pipe sizes, grades, and locations.

G. Contour lines related to some established benchmark or other engineering acceptable datum and having minimum intervals of two feet for slopes of less than five percent, five feet for slopes of five to fifteen percent, ten feet for slopes of fifteen to twenty percent, and twenty feet for slopes greater than twenty percent.

H. Zoning classification of land within and adjacent to the proposed subdivision.

I. Names and addresses of all adjoining property owners.

J. The structures, trees, rock outcroppings or other shade producing objects, if the object will cast shade from or onto the subdivision.

K. Existing covenants, conditions, and restrictions.

L. Conditions specified on the approved Transportation System Analysis prepared in accordance with Section 8.2815.

3. Information Concerning Proposed Subdivision:

A. Location, names, width, typical improvements, cross sections, bridges, culverts, approximate grades, curve radii and centerline lengths and reserve strips of all proposed streets, and the relationship to all existing and projected streets.

B. Location, width, and purpose of all propose easements or rights-of-way and relationship to all existing easements and rights-of-way.

C. Location of at least one temporary bench mark within the proposed subdivision boundary.

D. Location, approximate area and dimensions of each lot, and proposed lot and block numbers.

E. Location, approximate area and dimensions of any lot or area proposed for public use, the use proposed, and plans for improvements or development thereof.

F. Proposed use, location, approximate area, and dimensions of any lot intended for non-residential use.

G. An outline of the area proposed for partial recording, if contemplated or proposed.

H. Source, method, and preliminary plans, prepared by a licensed civil engineer, for domestic and other water supplies, sewage disposal, solid waste disposal, and all utilities.

I. Description and location of any proposed community facility.

J. Storm water, drainage facility and grading plans.

K. Proposed deed restrictions including access restrictions or protective covenants if such are proposed to be utilized for the proposed subdivision.

L. Statement from each utility company proposed to serve the proposed subdivision stating that each company is able and willing to serve the proposed subdivision as set forth in the tentative plan, and the conditions and estimated costs of such service.

M. Proposed fire protection or fire hydrant system for the proposed subdivision and written approval thereof by the appropriate serving fire protection agency.

202
CHAPTER 8 DEVELOPMENT REGULATIONS

N. Solar Access. Demonstration of how solar access will be provided.

O. Location and type of street trees.

4. Information showing how the applicant has addressing the applicable Great Neighborhood Principles in Section 8.0270(3)(C)(13) and adopted Area Plans.

[Section 8.2215 amended by Ord. #2012-11 passed October 23, 2012]

[Section 8.2215 amended by Ord. #2015-01 passed February 24, 2015]

[Section 8.2215 amended by Ord. #2016-17 passed January 31, 2017]

[Section 8.2215 amended by Ord. #2022-04 passed June 28, 2022]

[Section 8.2215 amended by Ord. #2022-09 passed December 13, 2022]

8.2220 Phased Development Plan. An overall phased development plan shall be submitted for all developments for which phased development is contemplated. The phased development plan shall include but not be limited to, the following elements:

1. Overall development plan, including phase or unit sequence.

A. For development that includes a commercial component, a surety may be required when the commercial component is not sequenced in the initial phases.

2. Show compliance with all applicable land division standards and policies as described in this Article

3. Schedule of improvements initiation and completion.

4. Overall transportation and traffic pattern plan showing compliance with grid street standards, and for land within the North Redmond US 97 Interchange Area Management Plan (IAMP), compliance with the Local Street Connectivity Plan (Comprehensive Plan Addendum Chapter 9 Transportation Element figure 1).

5. General program for phasing timetable projection.

6. Development plans for any common elements or facilities.

7. If the proposed subdivision is believed to have an additional impact upon adjacent lands or lands within the general vicinity, the Hearings Body may require an additional impact analysis for various aspects of the development thought to cause such impacts

8. Street tree plan

9. Program for addressing applicable Great Neighborhood Principles in Section 8.0330(3)(C)(13) and adopted Area Plans

[Section 8.2220 amended by Ord. #2012-11 passed October 23, 2012]

[Section 8.2220 amended by Ord. #2015-01 passed February 24, 2015]

[Section 8.2220 amended by Ord. #2022-09 passed December 13, 2022]

8.2225 Approval of Phased Development Plan. The Hearings Body shall review a phased development plan at the same time a tentative plat for the first phase is reviewed. A phased development plan may be approved before the tentative plat for the first phase is submitted. The Hearings Body may approve, modify, or disapprove the phased development plan and shall set forth findings for such decision. The Hearings Body may also attach conditions necessary to bring the plan into compliance with all applicable land use standards and policies. Any tentative plat submitted for the plan area shall conform to the phased development plan unless approved otherwise by the City.

[Section 8.2225 amended by Ord. #2012-11 passed October 23, 2012]

8.2230 Development Following Approval. Once a phased development plan is approved by the City, the plan shall be binding, upon both the City and the developer. The Hearings Body

203
CHAPTER 8 DEVELOPMENT REGULATIONS

may attach conditions to any changes proposed that are deemed necessary to ensure compliance with the Comprehensive Plan and implementing regulations. After five (5) years from the date of approval of the plan, the City may initiate a review of the plan for conformance with applicable City regulations. If necessary, the City may require changes in the plan to bring it into conformance with new applicable city regulations.

[Section 8.2230 amended by Ord. #2012-11 passed October 23, 2012]

8.2235 Required Findings for Tentative Subdivision Approval.

1. The Hearings Body shall approve no application for a subdivision unless the following requirements are met:

A. Proposal is in compliance with ORS Chapter 92, the Comprehensive Plan, the Transportation System Plan (TSP), applicable zoning and the applicable Track in Section 8.2236.

B. Proposal does not conflict with acquired public access easements within or adjacent to the subdivision.

C. Each lot is suited for the use intended or offered.

D. The subdivision will not exceed the operational capacity of public facilities and services as identified in the city’s Water and Wastewater Master Plan and the Transportation System Plan, which are required to serve the development, or a determination that sufficient capacity can be provided.

E. A water rights division plan has been approved by the applicable irrigation district

F. The subdivision contributes to orderly development and land use patterns in the area and provides for the preservation of natural features and resources such as streams, lakes, natural vegetation, special terrain features.

2. Access Management proposals comply with the standards set forth in Section 8.2820 and all other applicable standards.

[Section 8.2235 amended by Ord. #2012-11 passed October 23, 2012]

[Section 8.2235 amended by Ord. #2020-15 passed November 10, 2020]

8.2236 Subdivisions may be created following two tracks: Track 1 (General) and Track 2 (Clear and Objective Standards).

1 Track 1 – General Criteria. Subdivision Tentative Plans (No ‘Needed Housing’). The City shall approve, approve with conditions, or deny a proposed subdivision. Approval, or approval with conditions shall be based on compliance with the following criteria:

A. The proposed subdivision will:

1. Not create risk of fire, flood, geological hazards, or other public health and safety concerns;

2. Provide adequate transportation systems, water supply sewage disposal, drainage, and other public utilities consistent with City Standards and Specification;

3. The proposed subdivision provides direct bicycle and pedestrian access to any adjacent residential areas, transit stops, neighborhood activity centers, commercial areas, and employment areas.

B. Approval does not impede the future best use of the remainder of the property under the same ownership or adversely affect the development of the remainder or any adjoining land or access thereto, based on the provisions of this land use code.

CHAPTER 8 DEVELOPMENT REGULATIONS 204

C. Any existing improvements on the proposed lots are consistent with the provisions of this land use code.

D. The proposed subdivision will be consistent with the property’s designation in the comprehensive plan map.

E. General conformance with the Great Neighborhood Principles, including a description of the range of housing unit types proposed.

F. The proposed subdivision provides safe, convenient, and direct bicycle and pedestrian access to nearby and adjacent residential areas, transit stops, neighborhood activity centers, commercial areas, and employment and industrial areas, and provides safe, convenient, and direct transit circulation, provided the city makes findings to demonstrate consistency with constitutional requirements.

“Nearby” means uses within ¼ mile that can reasonably be expected to be used by pedestrians and uses within 2 miles that can reasonably be expected to be used by bicyclists.

G. The proposed subdivision is designed and sited such that roads, infrastructure, utilities, and future development of proposed lots will minimize impacts to the natural environment by addressing the following:

1 Protection of Natural Features.

a. For areas not included on the city’s acknowledged Goal 5 inventory, the preservation of significant natural features to the greatest degree attainable or feasibly, including:

i Significant on-site vegetation, including rare plants (those that are proposed for listing or are listed under state or federal law), and native plant communities.

ii. Prominent topographic features, such as ridgelines and rock outcrops.

iii. Natural resource areas designated in the comprehensive plan diagram as “Natural Resource” and areas identified in any city-adopted natural resource inventory.

b For areas included on the city’s acknowledged Goal 5 inventory, the preservation of natural features shall be consistent with the acknowledged level of preservation provided for the area.

2. Tree Preservation. The proposed project shall be designed and sited to preserve significant trees to the greatest degree attainable or feasible, with trees having the following characteristics given the highest priority for preservation.

a. Healthy trees that have a reasonable chance of survival considering the base zone or special area zone designation and other applicable approval criteria;

b. Trees located within vegetated corridors and stands rather than individual isolated trees subject to windthrow;

c. Trees that fulfill a screening function, provide relief from glare, or shade expansive areas of pavement;

d. Trees that provide a buffer between potentially incompatible land uses;

e. Trees located along the perimeter of the lot(s) and within building setback areas;

f. Trees and stands of trees located along ridgelines and within view corridors;

g. Trees with significant habitat value;

h. Trees adjacent to public parks, open space, and streets;

CHAPTER 8 DEVELOPMENT REGULATIONS 205

i. Trees along water features; j Heritage Trees.

3. Restoration or Replacement.

a. For areas not included on the city’s acknowledged Goal 5 inventory, the proposal mitigates, to the greatest degree attainable or feasible, the loss of significant natural features described in criteria (1) and (2) above, though the restoration or replacement of natural features such as:

i. Planting of replacement trees within common areas; or

ii. Re-vegetation of slopes, ridgelines, and street corridors; or

iii. Restoration of native plant habitat.

b. Street Trees. If the proposal includes removal of any street tree(s), removal of those street tree(s) has been approved or approved with conditions imposed by the City.

H. On R-1 zoned property, if the subdivision results in a lot greater than 13,500 square feet in size the application shall indicate the location of lot lines and other details of layout that show future division of the lot may be made without violating the requirements of this land use code and without interfering with the orderly extension of adjacent streets, bicycle paths, and accessways. If the City deems it necessary for the purpose of future land division, any restriction of buildings within future street, bicycle path, and accessway locations shall be made a matter of record in the tentative plan approval.

I. As far as is practicable, lot side lines shall run at right angles to the street upon which the lots face, except that on curved streets they shall be radial to the curve.

J. The proposed subdivision supplies all of the following:

1. Geological and Geotechnical Analysis.

2. Pedestrian Circulation On-Site.

3. Public Access Required.

4. Special Setback Standards.

5. Underground Utilities.

6. Vision Clearance Areas.

7. Stormwater flood control, quality, oil and pollution control, source control, easements, and operation and maintenance.

8. The proposed subdivision complies with other applicable development standards for features explicitly included in the application.

K. The proposal complies with the Transportation System Analysis review provisions per Section 8.2815

L. Urban – rural interface. Urban development shall interface with rural areas (rural areas are those that lie within areas outside of the UBG or UAR) through landscaped open space buffers at least 100 feet wide and the length of the urban development, excluding public streets, or shall be transitioned from higher density development to lower density development at the urban – rural interface, or utilize other appropriate and equivalent transitional elements.

M. Fully developed “pocket parks” or “tot lots” shall be incorporated into medium and high density zoned residential subdivisions and site plans. These areas shall be developed for every twenty-five lots/units, a minimum of 3,000 square feet and privately maintained. Examples of amenities include: turf areas, benches, deciduous shade trees, irrigation, shrubs, natural or decorative features, and acceptable trash receptable(s) and lighting.

N. No site grading of the site shall occur until the City has approved the subdivision application.

8 DEVELOPMENT
206
CHAPTER
REGULATIONS

2. Track 2 – Subdivision, Tentative Plan Approval Criteria (‘Needed Housing’ & Clear and Objective Standards). The planning division shall approve, approve with conditions, or deny a proposed subdivision. Approval, or approval with conditions, shall be based on compliance with the following criteria:

A. The applicant has demonstrated that the proposed housing is needed housing as defined by State statutes.

B. The proposed land uses and densities are consistent with the comprehensive plan, in this code, and as refined in any applicable area plan, master plan, or framework plan.

C. The proposed subdivision complies with all of the following, unless specifically exempt from compliance through a code provision applicable to a special area zone or overlay zone. The proposed subdivision will:

1. Not create risk of fire, flood, geological hazards, or other public health and safety concerns;

2. Provide adequate transportation systems, water supply, sewage disposal, drainage, and other public utilities consistent with City Standards and Specifications.

D. The proposed subdivision provides direct bicycle and pedestrian access to any adjacent residential areas, transit stops, neighborhood activity centers, commercial areas, and employment areas.

E. The proposed subdivision is designed and sited such so roads, infrastructure, utilities, and future development of proposed lots will minimize impacts to the natural landscape by addressing the following:

1. Tree Preservation. The proposed project shall be designed and sited to preserve trees having the following characteristics:

a. Healthy trees that have a reasonable chance of survival considering the base zone or special area zone designation and other applicable approval criteria;

b. Trees located within vegetated corridors and stands rather than individual isolated trees subject to windthrow;

c Trees that fulfill a screening function, provide relief from glare, or shade expansive areas of pavement;

d Trees that provide a buffer between potentially incompatible land uses;

e. Trees located along the perimeter of the lot(s) and within building setback areas;

f Trees and stands of trees located along ridgelines and within view corridors;

g. Trees with significant habitat value;

h. Trees adjacent to public parks, open space, and streets.

i. Trees along water features.

j. Heritage trees.

2. Restoration or Replacement.

a. For areas not included on the City’s acknowledged Goal 5 inventory, the proposal mitigates, to the greatest degree attainable or feasible, the loss of significant natural features described in criteria (a) above, through the restoration or replacement of natural features such as:

i. Planting of replacement trees within common areas; or

ii. Re-vegetation of slopes, ridgelines, and pedestrian corridors; or

iii. Restoration of native plant habitat.

CHAPTER 8 DEVELOPMENT REGULATIONS 207

b. For areas included on the City’s acknowledged Goal 5 inventory, any loss of natural features shall be consistent with the acknowledged level of protection provided for the resource.

Street Trees. If the proposal includes removal of any street tree(s), removal of those street tree(s) has been approved or approved with conditions by the City.

F. On any Residential zoned property, if the subdivision results in a lot greater than twice the minimum lot size in the underlying zone, the application shall indicate the location of lot lines and other details of layout that show future division of the lot may be made without violating the requirements of this code and without interfering with the orderly extension of adjacent streets, bicycle paths, and accessways.

G. Lot side lines shall run at right angles to the street upon which the lots face, except that on curved streets they shall be radial to the curve.

H. There shall be no proposed grading on portions of the development site that meet or exceed 15% slope.

I. The proposed subdivision complies with the Transportation System Analysis review provisions per Section 8.2815

J. The proposed subdivision street layout shall disperse motor vehicle traffic onto more than one public local street unless approved by the City Engineer

K. Urban development shall interface with rural areas (rural areas are those that lie within areas outside of the UGB or UAR) through landscaped open space buffers at least 100 feet wide and the length of the urban development, excluding public streets, or shall be transitioned from higher density development to lower density development at the urban - rural interface, or utilize other appropriate and equivalent transitional elements.

L Fully developed “pocket parks” or “tot lots” shall be incorporated into medium and high density zoned residential subdivisions and site plans. These areas shall be developed for every twenty-five lots/units, a minimum of 3,000 square feet and privately maintained. Examples of amenities include: turf areas, benches, deciduous shade trees, irrigation, shrubs, natural or decorative features, and adequate trash receptable(s) and lighting.

M. No site grading of the site shall occur until the City has approved the subdivision application.

O. The proposed subdivision does not contain any Through/Double Frontage lots or parcels.

[Section 8.2236 added by Ord. #2020-15 passed November 10, 2020]

[Section 8.2236 amended by Ord. #2022-04 passed June 28, 2022]

[Section 8.2236 amended by Ord. #2022-09 passed December 13, 2022]

8.2240 Improvement Requirements (For Track 1 and Track 2 Subdivisions).

1. In the approval of a subdivision, the Community Development Director, or Hearings Body, shall consider the need for street and other improvements. All streets in new subdivisions, except for private streets, shall be dedicated to the public without reservation or restriction.

2. Private Alley Access. The Community Development Director, or Hearings Body, may require the applicant to improve a private alley access easement serving two or more lots according to the adopted City of Redmond Public Works Standards and Specifications, as amended.

CHAPTER 8 DEVELOPMENT REGULATIONS 208

A. Such access easements shall include provisions for permanent, long-term maintenance, including: maintenance measures to be employees; responsible parties; funding; design; timing; and enforceability. These provisions shall be included as recorded Covenants, Conditions and Restrictions (CCR’s) appurtenant to the affected properties.

3. The subdivider shall record the required (including but not limited to) land division agreement, public improvement agreement, shared access agreement or shared well agreement, as may be applicable, with the Deschutes County Clerk=s office at the time of recording of the final subdivision plat.

4. Paved access is guaranteed to each lot.

5. Each lot is to be connected to the City water and sewer system pursuant to Section 4.007 of the Code of the City of Redmond.

6. All required public utilities are available.

[Section 8.2240 amended by Ord. #2012-11 passed October 23, 2012]

[Section 8.2240 amended by Ord. #2020-15 passed November 10, 2020]

8.2245

Resubmission of Denied Tentative Subdivision Plats.

1. A tentative plat that was previously denied for an area or tract of land shall be resubmitted in accordance with this Chapter, and shall be reviewed in the same manner as any other tentative plat.

[Section 8.2245 amended by Ord. #2012-11 passed October 23, 2012]

CHAPTER 8 DEVELOPMENT REGULATIONS 209

FINAL SUBDIVISION PLAT

8.2300 Submission of Final Plat.

1. Filing Time Period Requirements. Notwithstanding the requirements included herein as amended, all final plats submitted for review and approval shall be subject to the final plat requirements of the City of Redmond Development Code in effect as of the date of the tentative plan approval. Except as provided for in Section 8.2305, the applicant shall prepare and submit to the Community Development Department, a final plat that is in conformance with the tentative plat as approved, including all conditions of the land use decision. Within two (2) years of the approval date for the tentative plat for a subdivision, the applicant shall submit the final plat, a filing fee and any supplementary information required by these standards and the land use decision. If the applicant fails to proceed with the submission before the expiration of the two (2) year period following the approval of the tentative plat, the plan approval shall be void.

2. Extensions.

A. If it appears the applicant will not be able to comply with the filing time requirements of these standards, applicant may submit a written application to the Community Development Director, or designee, requesting an extension of the filing time requirement. The application shall be filed no later than sixty (60) days prior to the date the two (2) year period expires. The extension request shall also be accompanied by the appropriate fee.

B. If there is good cause, the Community Development Director, or designee, may grant the extension of up to six (6) months from the date of expiration. Good cause shall require a showing by the applicant that the delay is unavoidable and was not the result of the applicant's own actions. The applicant must also show he or she has made significant progress on the majority of conditions of the tentative plat.

C. Any extension granted by the Community Development Director, or designee, may be conditioned by a requirement that the applicant provide appropriate guarantees that the requirements of these standards will be met

D. The applicant may appeal a decision of the Community Development Director, or designee, to the Hearings Body pursuant to Sections 8 1500 through 8.1560 of Article 2 of the City of Redmond Development Code, Land Use Procedures

E. Notice of the application for an extension shall be provided as prescribed in Section 8.1310 of Article 2 of the City of Redmond Development Code, Land Use Procedures

[Section 8.2300 amended by Ord. #2012-11 passed October 23, 2012]

[Section 8.2300 amended by Ord. #2020-15 passed November 10, 2020]

8.2305 Submission of Final Plats for Phased Development.

1. If a tentative plat is approved for phased development, the final plat for the first phase shall be filed within two (2) years of the approval date for the tentative plat. However, the Community Development Director, or Hearings Body, may allow extensions as provided in Section 8.2300, above.

2. The final plat for a subsequent phase shall be filed in sequential order within three (3) years of the date the final plat for the first phase is filed. If the phased development is a Planned Unit Development or Cottage Development, the final plat for the final phase shall be filed within eight (8) years of the date the development is approved, as provided in RDC 8.1605.

CHAPTER 8 DEVELOPMENT
210
REGULATIONS

3. If the applicant fails to file a final plat within the timeframe established herein, the tentative plan for that phase and all subsequent phases shall become null and void.

[Section 8.2305 amended by Ord. #2012-11 passed October 23, 2012]

[Section 8.2305 amended by Ord. #2020-15 passed November 10, 2020]

8.2310 Form of Final Plat. The final plat shall be submitted in the form prescribed by state statute (ORS Chapter 92).

[Section 8.2310 amended by Ord. #2012-11 passed October 23, 2012]

8.2315 Technical Review of Subdivision Plat.

1. Standards Check. Upon receipt by the Community Development Department, the plat and other data shall be reviewed to determine that the subdivision as shown is substantially the same as it appeared on the approved tentative plat, and for compliance with provisions of these standards and other applicable laws.

2 Field Check. The City Engineer or their designated representatives may make such checks in the field as are desirable to verify that the plat is sufficiently correct. The City Engineer or representative may enter the property for this purpose.

[Section 8.2315 amended by Ord. #2012-11 passed October 23, 2012]

[Section 8.2315 amended by Ord. #2020-15 passed November 10, 2020]

8.2320 Conditions of Final Subdivision Plat Approval.

1. The Community Development Director, or designee, shall determine whether the final plat conforms with the approved tentative plat and with these regulations. If the Community Development Director, or designee, does not approve the plat, the applicant shall be advised of the changes or additions that must be made and shall afford an opportunity to make corrections. If the Community Development Director, or designee, determines the plat conforms to all requirements, approval shall be made, provided non-discretionary supplemental documents and provisions for required improvements are satisfactory. Approval of the plat does not constitute or effect an acceptance by the public of the dedication of any street or other easement shown on the plat nor does such approval constitute final approval, said authority for final acceptance being vested with the City Council

2. No plat of a proposed subdivision shall be approved unless:

A. Streets and roads for public use are to be dedicated without any reservation or restriction.

B. The plat contains provisions for dedication to the public of all common improvements, including but not limited to streets, roads, parks, sewage disposal and water supply systems, if made a condition of the approval of the tentative plat.

C. Explanations of all common improvements required as conditions of approval of the tentative plat shall be recorded and referenced on the final plat.

3. No plat of a subdivision shall be approved unless the subdivider has either constructed and had accepted by the City the required improvements or the subdivider has executed an improvement agreement pursuant to the provisions of Section 8.2325. If the subdivider chooses to construct the improvements, he or she shall also file with the City a warranty bond executed by a surety company to cover the one (1) year warranty period following

CHAPTER 8 DEVELOPMENT REGULATIONS 211

acceptance by the City. Said bond shall be in the amount of ten (10) percent of the value of the improvements as determined by the City Engineer

[Section 8.2320 amended by Ord. #2012-11 passed October 23, 2012]

[Section 8.2320 amended by Ord. #2020-15 passed November 10, 2020]

8.2325

Improvement Agreement.

1. The subdivider may, in lieu of completion of the required improvements and repair to existing streets and facilities, request the Community Development Director, or designee, to approve an agreement specifying the schedule by which the required improvements and repairs shall be completed. Provided, however, any schedule of improvements agreed to shall not exceed one (1) year from the date the final plat is recorded. The agreement shall also provide the following information:

A. The repairs required and cost of the project.

B. That, pursuant to the requirements of Section 8.2330 of this Chapter, the City may call upon the security filed to construct or complete the improvements and repairs if the schedule of improvements is not adhered to.

C. That the City shall recover the full cost and expense of any work performed by the City to complete construction of the improvements and repairs including, but not limited to attorneys' and engineering fees.

D. That a warranty bond for one (1) year shall be deposited with the City following acceptance of the improvements. Said bond shall be in the amount of ten (10) percent of the value of the improvements.

E. Building permits will not be issued for any structure on any lot included within the subdivision plat until such time as all improvements are completed as specified in the agreement

2. The Community Development Director, or designee, may reject an agreement authorized by this Section for any reason the Community Development Director, or designee, deems sufficient.

3. The subdivider shall record the required land division agreement or public improvement agreement with the Deschutes County Clerk’s office at the time of recording of the final subdivision plat.

[Section 8.2325 amended by Ord. #2012-11 passed October 23, 2012]

[Section 8.2325 amended by Ord. #2020-15 passed November 10, 2020]

8.2330

Bond or Cash Deposit.

1. The subdivider shall file with any agreement specified in Section 8.2325, to assure his or her full and faithful performance thereof, one of the following:

A. A surety bond executed by a surety company authorized to transact business in the State of Oregon in a form approved by the City Attorney.

B. A cash deposit in a City account at an approved lending institution.

2. A bond or cash deposit, or any combination thereof, shall be for 120% of the cost of the improvements and repairs as determined by the City.

3. If the subdivider fails to carry out the provisions of the agreement, the City may call upon the bond or cash deposit to finance any cost or expenses resulting from said failure. In the alternative, the City may form a Local Improvement District or a Reimbursement District to lien the properties in accordance with the relevant provisions of Oregon State Law and the Redmond City Code. If the amount of the deposit or bond exceeds the cost and expense

CHAPTER 8 DEVELOPMENT REGULATIONS 212

incurred by completing the improvements, the City shall release the remainder. If the amount of the deposit or bond is less than the cost and expense incurred by the City for the improvements and repairs, the subdivider shall be liable to the City for the difference.

[Section 8.2330 amended by Ord. #2012-11 passed October 23, 2012]

8.2335 Final Plat Approval. After the final plat has been reviewed and approved by the City, and when all signatures as required by the Deschutes County Surveyor other than the Development Services Director, County Clerk, and County Commissioner appear on the mylar, the City Engineer and Planning Director shall sign the final plat mylar and return it to the applicant to file with Deschutes County.

[Section 8.2335 amended by Ord. #2012-11 passed October 23, 2012]

[Section 8.2335 amended by Ord. #2022-04 passed June 28, 2022]

8.2340 Recording of Plat. No plat shall have any force or effect and no title to any property shall pass until the final plat has been recorded.

[Section 8.2340 amended by Ord. #2012-11 passed October 23, 2012]

8 DEVELOPMENT
213
CHAPTER
REGULATIONS

LAND PARTITIONING

8.2400 Applicability of Regulations. All proposed land partitions within the City shall be approved by the City. Approval shall only be granted in accordance with the provisions of these standards. Provided, however, the Community Development Director, or designee, may refer any partition to the Hearings Body for a hearing and decision.

[Section 8.2400 amended by Ord. #2012-11 passed October 23, 2012]

8.2405 Filing Procedures and Requirements.

1. Any person or an authorized agent or representative, proposing a land partitioning, shall prepare and submit three (3) copies of the documents hereinafter described, in accordance with the prescribed procedures, and the appropriate filing fee, to the Community Development Department.

2. The tentative plat or preliminary drawing shall include the following:

A. A vicinity map locating the proposed partitioning in relation to adjacent subdivisions, roadways and adjoining land use and ownership patterns. The map must include names of all existing roadways shown therein.

B. A plan of the proposed partitioning showing tract boundaries and dimensions, the area of each tract or parcel, locations of all easements, and the names, rights-ofway widths and improvement standards of existing roads.

C. Names and addresses of the landowner, the applicant (if different), a mortgagee if applicable, the engineer or surveyor employed or to be employed to make necessary surveys and prepare the legal descriptions of each parcel to be created, and record owners of land contiguous to the proposed partition. If the application is filed by anyone other than the owner of record, a letter or other evidence of the owner’s permission to file the application.

D. A statement regarding contemplated water supply, sewage disposal, solid waste disposal, fire protection and access, etc.

E. North point, scale and date of tentative plat preparation, and property identification by tax lot, section, township, and range.

F. Statement regarding past, present and intended use of the parcels to be created, or the use for which the parcels are to be offered

G. If a tract of land has water rights, the application shall be accompanied by a water rights division plan approved by the irrigation district or other water district holding the water rights, or when there is no such district, by the County Watermaster.

H. Location of all existing buildings, canals, ditches, septic tanks and drain fields, wells, and utility lines.

I. Location of any topographical features which could impact the partition, such as canyons, bluffs, rock outcroppings, natural springs, and flood plains.

J. Location, width, name, curve ratio and approximate grade of all proposed rights-ofway.

[Section 8.2405 amended by Ord. #2012-11 passed October 23, 2012]

[Section 8.2405 amended by Ord. #2020-15 passed November 10, 2020]

8.2410 Requirements for Tentative Partition Approval.

1. No application for partitioning shall be approved unless the following requirements are met:

CHAPTER 8 DEVELOPMENT REGULATIONS 214

A. Proposal is in compliance with ORS Chapter 92, the Transportation System Plan (TSP) and applicable zoning.

B. Proposal does not conflict with acquired public access easements within or adjacent to the partition.

C. Each parcel is suited for the use intended or offered.

D. The partition will not exceed the operational capacity of public facilities and services as identified in the city’s Water and Wastewater Master Plan and the Transportation System Plan, which are required to serve the development, or a determination that sufficient capacity can be provided.

E. A water rights division plan has been approved by the applicable irrigation district.

F. The partition contributes to orderly development and land use patterns in the area. Orderly development and land use patterns in general is development that:

1. Is consistent with zoning district’s density requirements;

2. Does not overtax supporting public facilities and services and logical extensions thereof;

3. Provides for continued maintenance of supporting facilities and services;

4. Recognizes topographical limitations;

5. Is consistent with existing land use patterns and development;

6. Does not foreclose future development opportunities on adjacent undeveloped or under-developed lands; and,

7. Is consistent with applicable Great Neighborhood Principles described in Section 8.0270 (3)(C)(13) and adopted Area Plans.

G. Provides for the preservation of natural features and resources such as streams, lakes, natural vegetation, special terrain features.

2. Access Management proposals comply with the standards set forth in Section 8.2820

3. The Hearings Body may approve an application for partitioning having the effect of creating more than three (3) parcels without subdividing provided that the partition complies with all applicable subdivision standards and criteria.

[Section 8.2410 “Blocks” repealed in its entirety and replaced with Section 8.2410 “Requirements for Tentative Partition Approval” by Ord. #2012-11 on October 23, 2012]

[Section 8.2410 amended by Ord. #2015-01 passed February 24, 2015]

[Section 8.2410 amended by Ord. #2022-04 passed June 28, 2022]

8.2415 Improvement Requirements.

1. In the approval of a land partition, the Community Development Director, or Hearings Body, shall consider the need for street and other improvements, and may require as a condition of approval any improvements that may be required for a subdivision under the provisions of these standards. All streets in partitions shall be dedicated to the public without reservation or restriction.

2. Private Alley Access. The Community Development Director, or Hearings Body, may require the applicant to improve a private alley access easement serving two or more parcels according to the adopted City of Redmond Public Works Standards and Specifications, as amended.

A. Such access easements shall include provisions for permanent, long-term maintenance, including maintenance measures to be employed; responsible parties; funding; design; timing; and enforceability. These provisions shall be included as recorded Covenants, Conditions and Restrictions (CCR’s) appurtenant to the affected properties.

CHAPTER 8 DEVELOPMENT REGULATIONS 215

3. The partitioner shall record the required (including but not limited to) land division agreement, public improvement agreement, shared access agreement or shared well agreement with the Deschutes County Clerk’s office at the time of recording of the final partition plat.

4. Paved access is guaranteed to each parcel.

5. Each parcel within the City limits is to be connected to the City sewage system when reasonably available.

6. All required public utilities are available.

[Section 8.2415 “Lots and Parcels - Size & Shape” repealed in its entirety and replaced with Section 8.2415 “Improvement Requests” by Ord. #2012-11 passed October 23, 2012]

[Section 8.2415 amended by Ord. #2020-15 passed November 10, 2020]

8.2420 Application Review. Following submission of an application for a land partitioning the Hearings Body shall review the plans and application submitted and shall either approve or deny the application.

[Section 8.2420 “Lots and Parcels - General Requirements” repealed in its entirety and replaced with Section 8.2420 “Application Review” by Ord. #2012-11 passed October 23, 2012]

[Section 8 2420 amended by Ord. #2020-15 passed November 10, 2020]

8.2425 Appeal. An appeal of a decision or requirement of the Hearings Body relative to a land partition shall be made in accordance with the provisions of Section 8.1500 through 8.1560 of Article 2 of the City of Redmond Development Code, Land Use Procedures

[Section 8.2425 amended by Ord. #2012-11 passed October 23, 2012]

CHAPTER 8 DEVELOPMENT REGULATIONS 216

FINAL PARTITION PLAT

8.2500 Final Partition Plat Filing. Following approval of tentative plat for a proposed partitioning, the applicant shall prepare and submit to the Community Development Department the final plat for the subject partitioning. Such filing shall be completed within two (2) years from the date of the approval, or the approval shall be void. The final plat shall be prepared in accordance with the following requirements and the original and two (2) copies thereof submitted by the applicant to the Community Development Department for approval. The original shall be recorded by the applicant in the office of the County Clerk following approval by the Community Development Director, or designee.

[Section 8.2500 amended by Ord. #2012-11 passed October 23, 2012]

[Section 8.2500 amended by Ord. #2020-15 passed November 10, 2020]

8.2505 Extensions. Requests for extensions shall be reviewed in the manner provided for in Section 8.2300(2)(A-E).

[Section 8.2505 amended by Ord. #2012-11 passed October 23, 2012]

8.2510 Requirements.

1. Final plat requirements:

A. Plats shall be drawn to a scale of one inch per 100 feet. Provided, however, for partitions of large lots the scale may differ so long as the scale is reasonable.

B. Name of the owner, developer and engineer or surveyor shall be shown on the plat

C. Date, scale, north point, legal description of boundaries, and a tie by actual survey to a section or donation land claim corner.

D. Parcel boundary lines, with dimensions and bearings; bearings shall be to the nearest 30 seconds, and distances to the nearest 0.01 feet.

E. An affidavit by the engineer or surveyor having surveyed the land involving a partitioning.

F. A certification of acceptance of any public dedication.

G. A guarantee of approved or required improvements, including identification of maintenance responsibilities for proposed or existing roads and streets.

H. A certification of approval for execution by the Community Development Director.

I. Water rights to be assigned to each parcel shall be indicated on the plat and certification of approval thereof.

2. Approval Requirements: No final plat for a land partitioning shall be approved by the Community Development Director unless all of the following requirements are met:

A. The final plat is in strict conformance with the approved tentative plat.

B. The final plat is in conformance with the requirements set forth in subsection (1) of this section.

C. Paved access is guaranteed to each parcel.

D. Each parcel is to be connected to the City sewer and water systems.

E. All required public utilities are available.

F. All conditions of the tentative plat approval have been met or guaranteed.

G. All proposed or required improvements have been completed and accepted by the City.

[Section 8.2510 amended by Ord. #2012-11 passed October 23, 2012]

CHAPTER 8 DEVELOPMENT REGULATIONS 217

8.2515 Special Partitioning Regulations. The partitioning of a tract of land in which not more than one (1) parcel is created and transferred to a public or semi-public agency for the purpose of a road, railroad, electric substation, or canal right-of-way, and thereby not meeting the lot size and configuration requirements of the underlying zone and/or this Chapter, may be approved by the Community Development Director, or designee.

[Section 8.2515 amended by Ord. #2012-11 passed October 23, 2012]

[Section 8.2515 amended by Ord. #2020-15 passed November 10, 2020]

8.2520 Final Plat Approval. After the final plat has been reviewed and approved by the City, and when all signatures as required by the Deschutes County Surveyor other than the Development Services Director, County Clerk, and County Commissioner appear on the mylar, the City Engineer and Planning Director shall sign the final plat mylar and return it to the applicant to file with Deschutes County.

[Section 8.2520 added by Ord. #2022-04 passed June 28, 2022]

CHAPTER 8 DEVELOPMENT REGULATIONS 218

BOUNDARY LINE ADJUSTMENTS

8.2600 Boundary Line Adjustment Regulations. Boundary Line adjustments include the modification or elimination of existing lot or parcel boundaries. No new lots or parcels are created by a lot line adjustment.

[Section 8.2600 “Form of Petitions, Applications and Appeals” repealed in its entirety and replaced with Section 8.2600 “Boundary Line Adjustment Regulations” by Ord. #2012-11 on October 23, 2012.]

8.2605 Submission Requirements. All applications shall include a preliminary boundary line map identifying all existing and proposed boundary lines and dimensions; footprints and dimensions of existing structures (including accessory structures); location and dimensions of driveways and public and private streets within or abutting the subject properties; existing fences and walls; and any other information deemed necessary by the Community Development Director, or designee, for ensuring compliance with the Redmond Development Code.

[Section 8.2605 “Hearings” repealed in its entirety and replaced with Section 8.2605 “Submission Requirements” by Ord. #2012-11 passed October 23, 2012]

8.2610 Approval Process

1. Boundary line adjustments shall be reviewed by the Community Development Director, or designee, consistent with the requirements in Article II, of the City of Redmond Development Code, Land Use Procedures, using approval criteria contained in Section 8.2615, below.

2. The boundary line adjustment approval shall be effective for a period of one (1) year from the date of approval, during which time it shall be recorded.

3. The boundary line adjustment approval shall lapse if:

A. The boundary line adjustment is not recorded within the time limit in subsection (2) herein.

B. The boundary line adjustment has been improperly recorded with Deschutes County without the satisfactory completion of all conditions attached to the approval; or

C. The final recording is a departure from the approved subdivision or partition plat, if applicable

[Section 8.2610 amended by Ord. #2012-11 passed October 23, 2012]

8.2615 Approval Criteria. The Community Development Director, or designee, shall approve or deny a request for a boundary line adjustment in writing based on findings that all of the following criteria are satisfied:

1. No additional lot or parcel is created by the boundary line adjustment;

2. All lots and parcels comply with the applicable lot and parcel size standards of the underlying zone including lot area and dimensions.

3. All lots and parcels comply with the requirements of Section 8.2700 to 8.2720 of this Chapter.

[Section 8.2615 amended by Ord. #2012-11 passed October 23, 2012]

CHAPTER 8 DEVELOPMENT REGULATIONS 219

[Section 8.2615 amended by Ord. #2020-15 passed November 10, 2020]

8.2620 Extensions. The Community Development Director, or designee, or Hearings Body may, upon written request by the applicant and payment of the required fee, grant an extension of the approval period for one year, up to an aggregate of two additional years provided that; no code changes which may be contrary to the original decision have occurred relative to that proposal, and there has been no new development since the original approval on any adjacent property. Such extensions shall be administrative, in writing, and not subject to appeal. (3/99)

[Section 8.2620 amended by Ord. #2012-11 passed October 23, 2012]

[Section 8.2620 amended by Ord. #2020-15 passed November 10, 2020]

8.2625 Final Plat Approval.

[Section 8.2625 added by Ord. #2022-04 passed June 28, 2022]

[Section 8.2625 deleted by Ord. #2022-09 passed December 13, 2022]

220
CHAPTER 8 DEVELOPMENT REGULATIONS

MIDDLE HOUSING AND EXPEDITED LAND DIVISIONS

8.2650 Purpose. The purpose of the expedited and middle housing land division process is to implement requirements in ORS 197.360 to 197.380 for expedited land divisions in residential districts, and 2021 Oregon Law Ch. 103 (S.B 458) regarding middle housing land divisions, in order to create homeownership opportunities.

[Section 8.2650 added by Ord. #2022-04 passed June 28, 2022]

8.2655 Applicability.

1. Expedited Land Division Applicability. The procedures of this chapter are applicable to partitions and subdivisions within a residential zone as provided in ORS 197.365.

2. Middle Housing Land Division Applicability. The procedures of this chapter are applicable to the following middle housing projects, or proposed middle housing projects, on an existing lot within a residential zone:

A. A duplex

B. A triplex

C. A quadplex

D A townhouse project

E. A cottage cluster

[Section 8.2655 added by Ord. #2022-04 passed June 28, 2022]

8.2660 Procedures. An Expedited Land Division or Middle Housing Land Division is not land use procedure. Unless the applicant requests to use the procedures in Sections 8.2200-8.2515

– Partitions and Subdivisions (a land use action), the following procedure for an Expedited Land Division or Middle Housing Land Division shall be followed.

1 Pre-Application Meeting. A pre-application meeting is not required.

2. Application Requirements. Applications shall be submitted upon forms established by the Community Development Director. Applications will not be accepted in partial submittals. All of the following items must be submitted to initiate the completeness review:

A. Application form, including required notarized signature(s) that demonstrate consent of all owners of the affected property;

B. Deed, title report, or other proof of ownership;

C Information addressing the approval criteria of Section 8.2665 for Expedited Land Division or Section 8.2670 for Middle Housing Land Division in sufficient detail for review and action;

D. Plans required for the particular type of application as noted by staff on the application checklist;

E. Application narrative to address applicable code approval criteria and standards as noted on the application checklist; and

F. Payment of the required fee.

3. Completeness Review. The Community Development Director shall review the application submittal and advise the applicant in writing whether the application is complete or incomplete within 21 calendar days after the City receives the application submittal.

A. Incompleteness shall be based solely on failure to pay required fees, failure of the applicant’s narrative to address the relevant criteria or development standards, or failure to supply the required information listed in the checklist and shall not be based on differences of opinion as to quality or accuracy. Determination that an

CHAPTER 8 DEVELOPMENT REGULATIONS 221

application is complete indicates only that the application contains the information necessary for a qualitative review of compliance with the Development Code standards

B. If the application was complete when first submitted or the applicant submits the additional information within 180 days of the date the application was first submitted, approval or denial of the application shall be based upon the standards and criteria that were in effect at the time the application was first submitted.

C. If an application is incomplete, the completeness notice shall list what information is missing and allow the applicant to submit the missing information. The completeness notice shall include a form, designed to be returned to the Community Development Director, or designee, by the applicant, indicating whether or not the applicant intends to amend or supplement the application.

4. Notification.

A. The Community Development Director, or designee, shall provide written notice of the receipt of the completed application for a Middle Housing Land Division or Expedited Land Division to all of the following:

1. The applicant and/or authorized representative;

2. The owner(s) of record of the subject property;

3. Any City-recognized neighborhood association whose boundaries include or are within 100 feet of the subject property;

4. Owners of record within 100 feet of the perimeter of the subject property; and

5. Affected City departments, governmental agency, or special district responsible for providing public facilities or services which is entitled to notice under an intergovernmental agreement with the City which includes provision for such notice or is otherwise entitled to such notice.

B. The notice shall state:

1. The street address or other easily understood geographical reference to the subject property;

2. A time and place where copies of all evidence submitted by the applicant will be available for review;

3. The applicable criteria for the decision;

4. The name and telephone number of a local government contact person;

5. A brief summary of the local decision-making process for the Middle Housing Land Division or Expedited Land Division;

6. That issues that may provide the basis for an appeal to the hearings officer must be raised in writing prior to the expiration of the comment period;

7. That issues must be raised with sufficient specificity to enable the local government to respond to the issues; and

8. The place, date, and time that comments are due.

C. For purposes of appeal to the hearings officer under ORS 197.375 (Appeal of Local Government to Referee; Court of Appeal), this requirement shall be deemed met when the Community Development Director can provide an affidavit or other certification that such notice was given.

D. After notification according to the procedure set out above, the Community Development Director, or designee, shall provide a 14-day period for submission of written comments prior to the decision.

5. Decision. The Community Development Director, or designee, shall make a decision to approve or deny the application within 63 days of receiving a completed application, based on whether it satisfies the applicable requirements of Section 8.2650 through 8.2680 of Article III of the Redmond Development Code.

CHAPTER 8 DEVELOPMENT REGULATIONS 222

A. Approval may include conditions to ensure that the application meets the applicable regulations.

B. For Middle Housing Land Division and Expedited Land Division applications, the Community Development Director, or designee:

1. Shall not hold a hearing on the application; and

2. Shall issue a written determination of compliance or noncompliance with applicable land use regulations that includes summary statement explaining the determination.

C. The decision shall include a statement of the facts upon which the decision authority relied to determine whether the application satisfied or failed to satisfy each applicable approval.

D. Notice of decision shall be provided to the applicant and to those who received notice under subsection (4) of this section within 63 days of the date of a completed application. The notice of decision shall include:

1. The summary statement described in (2)(b) of this subsection; and

2. An explanation of appeal rights under ORS 197.375 (Appeal of decision on application for Expedited Land Division).

6. Appeals. An appeal of a decision made under this section shall not be subject to Section 8.1500 through 8.1560 of Article II of the Redmond Development Code, Land Use Procedures. Any appeal of an Expedited Land Division or Middle Housing Land Division must be as provided in ORS 197.375. The Approval Authority for any appeal of an Expedited Land Division or Middle Housing Land Division is a City-appointed Hearings Officer.

7 Expiration. The tentative approval of a Middle Housing Land Division or Expedited Land Division is void if a final plat is not recorded within three years of the tentative approval.

[Section 8.2660 added by Ord. #2022-04 passed June 28, 2022]

8.2665 Criteria of Approval – Expedited Land Division.

1. The Community Development Director, or designee, will approve or deny an application for Expedited Land Division based on whether it satisfies the applicable criteria of approval

The Community Development Director, or designee, may approve the land division with conditions to ensure the application meets the applicable land use regulations.

2 The land subject to the application is within the R-1, R-2, R-3, R-3A, R-4, and/or R-5 zones.

3. The land will be used solely for residential uses, including recreational or open space uses that are accessory to residential use.

4. The land division does not provide for dwellings or accessory buildings to be located within a designated Historic Resource.

5. The land division satisfies the minimum improvement requirements for development in Section 8.2240

6. The land division satisfies the following development standards contained in the Redmond Development Code or in an applicable Master Plan:

A. Applicable lot dimensional standards;

B. Applicable standards that regulate the physical characteristics of permitted uses, such as building design standards;

C. Applicable standards in this code for transportation, sewer, water, drainage, and other facilities or services necessary for the proposed development, including but not limited to right-of-way standards, facility dimensions, and on-site and off-site improvements.

7. The land division will result in development that either:

CHAPTER 8 DEVELOPMENT REGULATIONS 223

A. Creates enough lots to allow building residential units at 80 percent or more of the maximum net density permitted by the zoning designation of the site; or

B. Will be sold or rented to households with incomes below 120 percent of the median family income for Bend-Redmond MSA, which the project is build.

[Section 8.2665 added by Ord. #2022-04 passed June 28, 2022]

8.2670 Criteria of Approval – Middle Housing Land Division. The Community Development Director, or designee, will approve a tentative plan for Middle Housing Land Division based on whether it satisfies the following criteria of approval:

1. The application provides for the development of middle housing in compliance with the Oregon residential specialty code and land use regulations applicable to the original lot allowed under ORS 197.758 (5).

2. Separate utilities are provided for each dwelling unit.

3. The applicant provides for easements necessary for each dwelling unit on the plan for:

A. Locating, accessing, replacing, and servicing all utilities;

B. Pedestrian access from each dwelling unit to a private or public street;

C. Any common use areas or shared building elements;

D. Any dedicated driveways or parking; and

E. Any dedicated common are.

4. The applicant proposes exactly one dwelling unit on each resulting lot, except for lots, parcels or tracts used as common areas.

5. The applicant demonstrates that buildings or structures on a resulting lot will comply with applicable building code provisions relating to new property lines and, notwithstanding the creation of new lots, that structures or buildings located on the newly created lots will comply with the Oregon residential specialty code

6. The original lot dedicated and improved the abutting street right-of-way sufficient to comply with minimum right-of-way and improvement standards of Section 8.2710 or dedication and/or improvements of the abutting street right-of-way are proposed that meet the subject standards

7. The type of middle housing developed on the original lot shall not be altered by a Middle Housing Land Division. For example, cottage cluster units within a cottage cluster do not become single-family detached residential units after a Middle Housing Land Division.

[Section 8.2670 added by Ord. #2022-04 passed June 28, 2022]

8.2675 Conditions of Approval – Expedited Land Division and Middle Housing Land Division. The Community Development Director, or designee, may add conditions of approval of a tentative plan for a Middle Housing Land Division or Expedited Land Division as necessary to comply with the applicable criteria of approval. Conditions may include but are not limited to the following:

1. A condition to prohibit the further division of the resulting lots or parcels.

2. A condition to require that a notation appear on the final plat indicating that the approval was given under Second 2 of Senate Bill 458 (2021) as a Middle Housing Land Division.

3. A condition to require recording of easements required by the tentative plan on a form acceptable to the City, as determined by the City Attorney.

[Section 8.2675 added by Ord. #2022-04 passed June 28, 2022]

CHAPTER 8 DEVELOPMENT REGULATIONS 224

8.2680 Final Plat for Expedited Land Division and Middle Housing Land Division.

1. The final plat shall comply with the Middle Housing Land Division or Expedited Land Division conditions of approval.

2. The following data requirements, if applicable, shall also be shown on the final plat:

A. All tracts of land intended to be deeded or dedicated for public use;

B. Street names as approved by the Community Development Director; and

C. Any non-access strips.

3. Approval Criteria. The Community Development Director, or designee, shall approve or deny the final plat for the Middle Housing Land Division or Expedited Land Division. Approval shall be based on the following criteria:

A. Lands to be deeded or dedicated for public use are provided for on the final plat or on separate documents.

B. An approved guarantee of completion is provided for required public improvements that have not been completed and accepted by the City.

C. An approved grading and drainage plan is provided if grading is required.

D. Approved construction drawings for required public improvements are provided.

E. All conditions of tentative plat approval have been met and the final plat substantially conforms to the provisions of the approved tentative plat.

4. A notice of Middle Housing Land Division for each middle housing lot shall be recorded with the County recorder that states:

A. The middle housing lot may not be further divided.

B No more than one unit of middle housing may be developed on each middle housing lot

C The dwelling developed on the middle housing lot is a unit of middle housing and is not a single family detached residential unit, or any other housing type.

5. No plat shall have any force or effect and no title to any property shall pass until the final plat has been recorded; however, a final plat is not required prior to issuance of building permits for middle housing proposed with a Middle Housing Land Division.

[Section 8.2680 added by Ord. #2022-04 passed June 28, 2022]

CHAPTER 8 DEVELOPMENT REGULATIONS 225

DESIGN STANDARDS AND IMPROVEMENTS

8.2700 Compliance Required.

1. Any land division or development shall be in compliance with the design and improvement standards and requirements of this section, and all other applicable provisions, as set forth in this Chapter.

[Section 8.2700 “Penalties” repealed in its entirety and replaced with Section 8.2700 “compliance Required” by Ord. #2012-11 on October 23, 2012]

[Section 8.2700 amended by Ord. #2012-11 passed October 23, 2012]

8.2705

Blocks, Lots and Parcels.

1. Blocks. The resulting or proposed length, width and shape of blocks shall take into account the requirements for adequate building lot sizes, street widths, access needs and topographical limitations.

A. No block shall be more than 660 feet in length between street center lines unless it is adjacent to an arterial street, or unless topography or the location of adjoining streets justifies an exception and is so approved by the reviewing authority. In MUN, MUE and MULW zones, block lengths shall be an average of 330 feet, except where required to meet grid street or access management requirements.

B. The recommended minimum length of a block along an arterial street is 1,320 feet, except that along such blocks, a public right-of-way for pedestrian and bicycle access shall be dedicated at or nearest the mid-point of the block length as is practical. The right-of-way shall be a minimum of 10 feet wide, with an all weather surface a minimum of 5 feet wide, constructed and centered within the right-of-way.

C. A block shall have sufficient width to provide for 2 tiers of lots unless topography, the location of adjoining streets, or adjacency to an arterial street justifies an exception.

D. Where appropriate at approved cul-de-sacs, dead-end streets, or along blocks approved at more than the maximum block length standard, pedestrian and bicycle access corridors shall be required to be constructed between lots to minimize travel distance between subdivisions, parks, school, and collector or arterial streets. Access corridors shall be located to provide a reasonably direct connection between likely pedestrian destinations and shall be consistent with the City of Redmond Bicycle Refinement Plan where applicable. A reasonably direct connection is a route which minimizes out of direction travel for people likely to use the connection considering terrain, safety, and likely destination. The Community Development Director, or Hearings Body, may determine based on evidence in the record that construction of a separate access corridor is inappropriate or impractical. Such evidence may include but is not limited to:

1. When the nature of abutting existing development makes construction of an access corridor impractical.

2. When the access corridor would cross a natural area with significant natural habitat and construction would be incompatible with protection of natural values.

3. When the access corridor would cross topography where slopes exceed 30% or where path grade would exceed 12% slope; or

4. When a cul-de-sac or dead-end street abuts rural resource land at the urban growth boundary. In industrial zones, this standard may be waived at the

CHAPTER 8 DEVELOPMENT REGULATIONS 226

discretion of the Community Development Director, or Hearings Body, when it is determined that the City’s grid street standards should not be applied to the industrial development.

2. Lots and Parcels. The size, width, and orientation of newly created lots and parcels shall be appropriate for the location of the land division and for the type of development and use contemplated. Lots and parcels shall be generally rectangular in shape and shall be consistent with the lot size provisions of the zoning standards and the density requirements as established in the City of Redmond Comprehensive Plan. Notwithstanding these requirements, the following exceptions may apply:

A. In areas beyond the City Limits where public sewer is not currently available, minimum lot and parcel sizes shall permit compliance with the requirements of the Department of Environmental Quality and shall be sufficient to permit adequate sewage disposal. Any problems posed by soil structure and water table as related to sewage disposal by septic tank shall be addressed and resolved in the applicant’s initial plan.

B. Where property is zoned and planned for business or industrial use, other widths and areas may be permitted by the Community Development Director, or Hearings Body. Depth and width of properties reserved or laid out for commercial and industrial purposes shall be adequate to provide for the off-street service and parking facilities required by the type of use and development contemplated.

C. In steep terrain, increased lot or parcel sizes may be required to avoid excessive cuts, fills, and steep driveways.

3. Frontage. Each newly created lot and parcel shall abut upon a public street other than an alley for at least 50 feet (at least 25 feet in Mixed Use zones). Lots fronting on the bulb of a cul-de-sac the minimum frontage shall be 30 feet. Flag lots shall have no less than 20 feet of street frontage measured at the property line. Townhouse frontage shall be at least 20 feet. Vehicular access shall be provided as specified in Section 8.2820, Access Management Standards, of this Chapter, or as specified in Section 8.2705(6) below, for residential lots and parcels abutting collector and arterial streets. All lot and parcels shall be addressed from the primary public street frontage, not including alleys.

4. Side Lot or Parcel Lines. All side lot lines shall be at right angles to street lines or radial to curved streets wherever practical except as provided for in subsection (10) of this section.

5. Through/Double Frontage Lots and Parcels. Through lots or parcels, and lots or parcels with double frontage shall be avoided whenever possible, including lots or parcels created adjacent to Collector and Arterial Streets, but not including alley frontage as described in Section 8.2705(6) below, except when they are necessary due to an irregular parent lot or parcel configuration, or are necessitated by topography or other unique circumstance.

6 Residential Lots and Parcels Abutting Collector and Arterial Streets. Lots and parcels created adjacent to Collector and Arterial streets shall be oriented so that the front elevation of the residential development faces the Collector or Arterial Street. Vehicular access shall be provided pursuant to Section 8.2820, Access Management Standards, of this Chapter. In instances where direct vehicular driveway access to lot or parcel from the Collector or Arterial Street is not permissible, alley access shall be provided to the rear of the lot or parcel in accordance with the design standards included in Section 8.2710(3) of this Chapter.

7. Corner Lots and Parcels. Corner lots and parcels shall be 5 feet more in width than other lots and parcels and also shall have sufficient extra width to meet the additional side yard requirements of the zoning district in which they are located.

CHAPTER 8 DEVELOPMENT REGULATIONS 227

8. Special Building Setback Lines. If special building setback lines, in addition to those required by the applicable zoning, are to be established in a development, they shall be shown on the final plat of the development and included in the deed restrictions.

9. Large Building Lots; Re-division. In the case where lots or parcels are of a size and shape that future redivision is possible, the Community Development Director, or Hearings Body, may require that the blocks be of a size and shape so that they may be redivided into building sites, and the development approval and site restrictions may require provision for the extension and opening of streets at intervals which will permit a subsequent redivision of any tract of land into lots or parcels of smaller sizes than originally platted, and in conformance with the density provisions established in the City of Redmond Comprehensive Plan for the existing or intended Zone. A plan indicating the ability for redivision according to these standards may be required as part of the initial land division process.

10. Solar Access. As much solar access as feasible shall be provided each lot and parcel in every new subdivision or partition considering topography, development pattern, and existing vegetation. The boundary lines of lots and parcels, as far as feasible, shall be oriented to provide solar access at ground level at the southern building line of the adjoining lot to the north two hours before and after the solar zenith from September 22 to March 21. If it is not feasible to provide solar access to the southern building line the solar access, if feasible, shall be provided at 10 feet above ground level at the southern boundary line two hours before and after the solar zenith from September 22 to March 21, and three hours before and after the solar zenith from March 22 to September 21. This solar access shall be protected by solar height restrictions on burdened properties for the benefit of lots receiving the solar access pursuant to Section 8.0370, of the City of Redmond Development Code, Solar Access Standards. If the solar access for any lot, either at the southern building line or at 10 feet above the southern building line, is not feasible, supporting information may be required with the application.

11. Curvilinear Street and Block Design. Although a basic grid street design with minimum and maximum block lengths are requirements of this section, a curvilinear street/block design is encouraged for the purpose of adding interest to new subdivision development.

12. Flag Lots. A flag lot shall be considered as a “flag lot” if the pole of the flag lot is less than half the width of the average lot width. For flag lots, the following shall be required:

A. Flag poles shall be no less than 20’ wide. Flag lot frontage can be reduced by approval from Redmond Fire & Rescue and City Engineer.

B. All zone regulations apply, including the minimum required lot size and setbacks unless setback reductions are allowed as described in (E).

C. Each flag lot shall contain a minimum 16’ wide paved driveway

D. A flag lot is exempt from the 50-foot street frontage requirement; however, a minimum of 20 feet of street frontage is required

E. Front and/or rear yard setbacks may be reduced to no less than 10’ subject to review and approval by the Community Development Director. The orientation of any structure (determination of front) may be suggested by the property owner and is subject to the review and approval of the Community Development Director, or designee. The location(s) of all structures immediately adjacent to any flag lot shall be shown on a site plan (1) during planning review and during the act of creating any new flag lot, and (2) during a building permit review for any structure built on a flag lot.

F. No flag lot shall be partitioned or further divided, except as provided for by middle housing.

G. The “pole” of the flag lot shall be no longer than 150’ measured from the street intersection to the beginning of the base of the flag.

CHAPTER 8 DEVELOPMENT REGULATIONS 228

H. The “pole” of the flag shall not be included in the minimum lot size calculation.

I Flag lots shall be exempt from street tree requirements unless the street frontage portion of the flag lot is 30’ or greater.

J. Flag lots are prohibited along or abutting the Dry Canyon Rim.

K. Two off-street parking spaces shall be provided for single family detached dwellings; and one space per unit for middle housing on a flag lot.

[Section 8.2705 “Violation Declared a Nuisance” repealed in its entirety and replaced with Section 8.2705 “Blocks, Lots and Parcels” by Ord. #2012-11 on October 23, 2012]

[Section 8.2705 amended by Ord. #2020-15 passed November 10, 2020]

[Section 8.2705 amended by Ord. #2022-04 passed June 28, 2022]

[Section 8.2705 amended by Ord. #2022-09 passed December 13, 2022]

8.2710 Streets.

1. General. Streets shall be in conformance with the City of Redmond Transportation System Plan as specified herein.

A. Except along Arterial Street, public streets shall be spaced a maximum of 660 feet between centerlines. The purpose is to provide a street grid pattern of through streets to facilitate traffic movement. Street designs shall conform to topography and other existing natural and man-made conditions. Illustrative examples of other conditions include the dry canyon, main COI canal, Highway 97, and the Burlington Northern Railroad tracks.

B. All proposed streets, sidewalks, bike lanes and pedestrian pathways shall connect to other streets, sidewalks bike lanes and pedestrian pathways within a development and to existing and planned streets, sidewalks, bike lanes and pedestrian pathways outside the development. Such facilities shall serve existing and planned parks, schools, or other public lands within a neighborhood.

C. To the maximum extent possible, new local streets shall align and connect with existing local streets and collectors, and in certain special cases arterial streets. Cul-de-sac streets shall be permitted only where no feasible connection with an adjacent street exists, or if the local street connection would be to an arterial street and the function of the arterial street may be diminished as determined through the land use review process, or the block length would be less than that which is permitted by Section 8.2705(1)(B)

D Consideration should be given to alternative street designs other than required herein in the City’s non-residential land use zones to allow for more effective developments. Such designs may be considered and approved during the subdivision or partition process without need for variance.

E. All proposed or required streets and alleys shall comply with Section 8.2820 Access Management Standards, the Transportation System Plan, and with Local Street Connectivity Plans adopted as part of the transportation element of the Comprehensive Plan.

2. Existing Streets. Whenever existing streets, adjacent to or within a tract, are of inadequate width per City of Redmond Standards and Specifications and the City’s approved Transportation System Plan additional right-of-way shall be provided at the time of the land division by the applicant. During consideration of the tentative plat for the subdivision or partition, the Hearings Body shall determine whether the improvements to existing streets, adjacent to or within the tract, are required. If so determined, such improvements shall be required as a condition of approval of the tentative plat. Improvements to adjacent streets shall be required where traffic on said streets shall be

CHAPTER 8 DEVELOPMENT REGULATIONS 229

directly affected by the proposed subdivision. Notwithstanding these provisions, off-site improvements to streets not within or adjacent to the development may be required when impacts resulting from the development necessitate such improvements as demonstrated through a transportation impact analysis.

3. Minimum Right-of-Way and Roadway Width. The street right-of-way and roadway surfacing widths shall be in conformance with the standards as specified in Table 1 below:

Notes:

*May be constructed only in conjunction with the creation of covenants, conditions, and restrictions (CCR’s) and the establishment of a homeowners association (HOA) for the development. The CCR’s shall provide that the primary responsibility for parking enforcement shall be the HOA, with the City of Redmond also being acknowledged in the CCR’s as a beneficiary for such parking enforcement as a violation of the land use decision and/or city code.

**In certain cases, bike lanes may be reduced to 5 ft, parking may be reduced to 7 ft, and travel lanes to 11 ft at the discretion of the City Engineer.

***Unstriped travel lanes

****36 ft in existing built-out areas

*****All streets less than 28 feet wide shall be no longer than 300 feet in length, unless such streets include at least one (1) parking bay per lot, located along each lot frontage for the entire length of such street, up to the maximum block length. Streets 300 feet or less in length shall not have any direct driveway access. In no case shall any street less than 28 feet wide intersect with any other street less than 28 feet wide.

4. Future Extension of Streets. When necessary to give access to or permit a satisfactory future division of adjoining land, streets shall be extended to the boundary of the subdivision or partition and the resulting dead-end streets may be approved without a permanent turn around if they are 150 feet or less in length, although, an adequate temporary turn around to ensure emergency vehicle access must be provided if such streets are greater than 150 feet in length.

5. Collector and Arterial Street Access. Notwithstanding the provisions of Section 8.2705 of this Chapter, if a land division abuts or contains an existing or proposed collector or arterial street, the Community Development Director, or Hearings Body, may require other treatments, including but not limited to frontage roads, necessary for adequate protection of residential properties and to afford separation of through and local traffic. Provision may be

230
CHAPTER 8 DEVELOPMENT REGULATIONS
Functional Class Width (ft) Travel Lanes Sidewalks Bike Lanes** Parking** Pavement Standard Pavement (minimum) Right-ofWay Residential Alley 16 ft 20 ft n/a none shared none Commercial Alley 20 ft 20 ft n/a none shared none Local Residential***** 36 ft 60 ft 2*** 5 ft shared both sides (unstriped) Parking One Side 28 ft* 60 ft 2*** 5 ft shared one side (unstriped) No Parking 24 ft* 60 ft 2*** 5 ft shared none Local Industrial 40 ft 38 ft 60 ft 2*** 5 ft shared optional (unstriped) Industrial Collector 40 ft 38 ft 80 ft 2 5 ft 6 ft none Minor Collector 40 ft 36 ft**** 60 ft 2 5 ft shared both sides (8 ft) Major Collector 36-50 ft 36 ft**** 80 ft 2 5 ft 6 ft none Minor Arterial (3-lane) 50 ft 48 ft 100 ft 3 7 ft 6 ft none Minor Arterial (5-lane) 74 ft 72 ft 100 ft 5 7 ft 6 ft none
Table 1 - City of Redmond Right of Way and Roadway Design and Cross-Section Standards

made for emergency access. All frontage roads shall comply with the City of Redmond Transportation System Plan

6. Streets Adjacent to Railroads, Freeways and Parkways. When the area to be subdivided or partitioned is residentially zoned and abuts a railroad, freeway, or parkway, a provision may be required for a street approximately parallel to and on each side of such right-of-way at a distance suitable for use of the land between the street and railroad, freeway or parkway. In the case of a railroad, there shall be a land strip of not less than 25 feet in width adjacent and along the railroad right-of-way for screen planting between the railroad right-of-way and residential property. If the intervening property between such parallel streets and a freeway or a parkway is less than 80 feet in width, such intervening property shall be dedicated to park or thoroughfare use. The intersections of such parallel streets, where they intersect with streets that cross a railroad, shall be determined with due consideration as cross streets of a minimum distance required for approach grades to a future grade separation and right-of-way widths of the cross street.

7. Continuation of Streets. Subdivision or partition streets which constitute the continuation of streets in contiguous territory shall be aligned so that their center lines coincide. Where straight line continuations are not possible, such center lines shall be continued as curves. These streets or the continuation of streets in contiguous territory may be required by the Community Development Director, or Hearings Body, where such continuation is necessary to maintain the function of the street or desirable in the surrounding area Where solar orientation would not be possible if the street area continued, a new pattern may be started that is solar oriented

8. Lot Layout. Local residential streets should be oriented on an east/west axis to the greatest possible extent to insure solar access for lots within the subdivision or partition.

9. Street Names. Except for extensions of existing streets, no street name shall be used which will duplicate or be confused with the name of an existing street in a nearby city or in the county. Street names and numbers shall conform to the established pattern in the City, including the continuation of street names across intersecting streets, and shall be subject to the approval of the Fire Department or the responsible agency.

10. Sidewalks. Sidewalks are required to be installed on both sides of a public street and in any special pedestrian way within the subdivision or partition except that in the case of collectors, arterials, special industrial districts or in steep terrain, the Hearings Body may approve a subdivision or partition without sidewalk if alternative pedestrian routes are available or provided by the developer. Sidewalks shall be required along routes to existing or future school and park sites

11. Bicycle Routes. If appropriate to the extension of a system of bicycle routes, existing or planned pursuant to the City of Redmond Bicycle Refinement Plan, the Community Development Director or the Hearings Body may require the installation of separate bicycle lanes within streets and/or separate bicycle paths.

12. Intersection Angles. Street intersections shall be as near right angles as possible except where topography or existing conditions requires a lesser angle, but in no case shall the acute angle be less than as permitted by the adopted City of Redmond Public Works Standards and Specifications.

13. Alignment. Staggered street alignment shall whenever possible, leave a minimum of 200 feet distance between the center line of the streets, but in no case be less than as permitted by Standards and Specifications.

14. Narrow Streets. Local residential grid streets designed at widths less than 36 feet as described in Section 8.2710(3)(Table 1), shall be permitted when the subdivision design is found to be in compliance with the following:

A. Narrow streets may only be permitted for continuous full-length blocks internal to a Subdivision or Planned Unit Development with street connections at both ends.

8 DEVELOPMENT
231
CHAPTER
REGULATIONS

B. Lots adjoining the narrow streets shall be a minimum of 5000 square feet and have a street minimum 50 feet of frontage

C. Sidewalks shall be separated from the curb by a landscape strip with street trees conforming with Public Works Standards and Specifications.

D. Curb cuts along the narrow street shall not be less than the minimum width required within the adopted City of Redmond Public Works Standards and Specifications.

[Section 8.2710 “Civil Relief” repealed in its entirety and replaced with Section 8.2710 “Streets” by Ord. #2012-11 on October 23, 2012]

[Section 8.2710 amended by Ord. #2022-09 passed December 13, 2022]

8.2715 Fundamental Design Elements.

1. Lighting. The subdivider or partitioner shall provide underground wiring to the City standards and a base for any proposed ornamental streetlights at locations approved by the affected utility company.

2. Multiple Access Points. Whenever possible, a minimum of two points of access to the subdivision or partition shall be provided to provide assured access for emergency vehicles and ease resident evacuation.

3. Water/Sewer All subdivisions and partitions shall provide water and sewer lines constructed to City standards and specifications approved by the City Engineer. All lots or parcels shall be served from the City of Redmond water and sewer systems or by water and sewer systems acceptable to the City. Water and sewer mains and service lines shall be installed prior to the curbing and paving of new streets in all new subdivisions or partitions.

4. Underground Utilities. All permanent utility service, cell service, and minor power transmission lines that are within or immediately adjacent to lots in a subdivision or parcels in a partition shall be provided from underground facilities unless otherwise approved by the Community Development Director, or designee, or Hearings Body. The subdivider, partitioner, or developer shall be responsible for complying with requirements of this section and shall:

A. Obtain a permit from Public Works for placement for all underground utilities within the public right-of-way.

B. Make all necessary arrangements with the utility companies and other persons or corporations affected by the installation of such underground utilities and facilities in accordance with rules and regulations of the Public Utility Commission of the State of Oregon.

C. All underground utilities, water lines, sanitary sewer lines and storm drains installed in streets shall be constructed prior to the surfacing of such streets to the extent practicable, and water and sanitary sewer service lines shall be placed to such lengths as will negate the necessity for disturbing the street improvements when service connections are made.

5. Preservation of Natural Features. Existing trees, vegetation, and natural features (i.e., rock outcrops) add character to the development and shall be preserved to the greatest extent practicable. All trees over 8 inches d.b.h. shall be noted and shown on the tentative plat.

6. Scenic Views. Significant views shall be taken into consideration during subdivision design. The establishment of view corridors, building envelopes, building height restrictions or similar methods shall be employed for the retention and protection of views from individual lots and from public spaces to the greatest degree practicable as determined

232
CHAPTER 8 DEVELOPMENT REGULATIONS

through the land use review process. Such measures shall be shown on the final plat and included in the deed restrictions.

7. Land for Public Purposes.

A. If the City has an interest in acquiring a portion of a proposed development for a public purpose, it shall notify the property owner as soon as the City Council authorizes the transaction to proceed.

B. Within a development, or adjacent to a development in contiguous property owned by the developer, a parcel of land of not more than 5% of the gross area of the development may be required to be set aside and dedicated to the public for parks and recreation purposes by the developer. The parcel of land, if required, shall be determined to be suitable for the park and/or recreation purpose(s) intended, and the city may require the development of the land for the park or recreation use intended or identified as a need within the community.

C. In the event no such area is available that is found to be suitable for parks and/or recreation uses, the developer may be required, in lieu of setting aside land to pay to the appropriate parks and recreation agency a sum of money equal to the market value of the area required for dedication, plus the additional funds necessary for the development thereof if so required; if such is required, the money may only be utilized for capital improvements by the appropriate parks and recreation agency.

D. The foregoing land and development or money dedication (if require) may be provided for in lieu of an equal value of systems development charge assessment for parks if so, approved by the collecting agency in accordance with the applicable provisions of the system development charge ordinance. If the collecting agency will not permit the land or money dedication in lieu of an applicable systems development charge, then the land and development or money dedication shall not be required.

E. If the nature and design, or approval, of a development is such that over 30% of the tract of land to be developed is dedicated to public uses such as streets, water or sewer system facilities and the like, then the requirements of this subsection shall be reduced so that the total obligation of the developer to the public does not exceed 30%

8. Easements.

A. Utility Easements. Easements shall be provided along property lines when necessary for the placement of underground utilities and to provide the subdivision or partition with electric power, communication facilities, street lighting, sewer lines, water lines, gas lines, or drainage. Such easements shall be labeled “Public Utility Easement” on the tentative and final plat; they shall be at least 12 feet in width and centered on lot lines where possible, unless determined otherwise by the City Engineer or designate. Excepting utility pole guylines easements along the rear of lots adjacent to unsubdivided land may be reduced to 10 feet in width, unless determined otherwise by the City Engineer or designate.

B. Drainage. If a tract is traversed by a water course, such as a drainage way, channel or stream, there shall be provided a stormwater easement or drainage right-of-way conforming substantially with the lines of the water course or in such further width as will be adequate for the purpose. Streets or parkways parallel to major water courses and drainage ways may be required.

9. Fully developed “pocket parks” or “tot lots” shall be incorporated into medium and high density zoned residential subdivisions and site plans. These areas shall be developed for every twenty-five lots/units, a minimum of 3,000 square feet and privately maintained. Park amenities shall, at a minimum, include: one half of the park dedicated to turf areas,

CHAPTER 8 DEVELOPMENT REGULATIONS 233

benches, trees, shrubs, ground cover, irrigation, other landscape or decorative features, and acceptable trash receptable(s) and lighting.

[Section 8.2715 “Administration of Standards” repealed in its entirety and replaced with Section 8.2715 “Fundamental Design Elements” by Ord. #2012-11 on October 23, 2012]

[Section 8.2715 amended by Ord. #2020-15 passed November 10, 2020]

[Section 8.2715 amended by Ord. #2022-04 passed June 28, 2022]

8.2720 Grading of Building Sites. Grading of building sites shall conform to the following standards unless physical conditions demonstrate the propriety of other standards:

1. Slopes shall be less than or equal to 3 to 1 (horizontal to vertical) unless slope reinforcement and low maintenance surfaces are provided. Cut slopes as steep as 1 to 1 are permitted in native rock material if that material is suitable to stand at the slope without raveling. Toe of full slopes steeper than 3 to 1 and top of cut slope shall be no closer than 2 feet from the property line.

2. Structural engineering must be provided for retaining walls higher than four feet from the base of the footing to the top of the retaining portion of the wall and for retaining walls of any height that support a surcharge such as a structure, roadway, or slope greater than 4 to 1.

3. Stormwater must be controlled in accordance with the City of Redmond Public Works Standards and Specifications to avoid erosion and impacts to adjacent property

4. Cuts and fills greater than 5 feet from original ground to final grade should be avoided

5. Foundations should be stepped or other measures used to minimize cuts and fills. Slopes steeper than 3:1 shall be landscaped, terraced, or receive other treatment to reduce the visual impact and minimize the need for maintenance.

6. Areas that require engineered fill to support structures, roadways or for other reasons shall be noted in the grading plan. Design and placement of engineered fill shall be under the direction of a licensed professional engineer. Fill material shall be tested and approved by the engineer prior to placement and tested with suitable methods after compaction. Fill in areas that do not support a structure shall be suitable with a minimum of voids and organic material.

7. The composition of soil for fill and the characteristics of lots and parcels made useable by fill shall be suitable for the purpose intended.

8. When filling or grading is contemplated by the subdivider or partitioner, they shall submit plans showing existing and finished grades for the approval of the City Engineer. In reviewing these plans, the City Engineer shall consider the need for drainage and effect of filling an adjacent property.

9. Grading shall be finished in such a manner as not to create steep banks or unsightly areas to adjacent property.

10. Any land that requires engineered fill shall be so noted on the plat Design and placement of engineered fill shall be under the direction of a licensed professional engineer.

[Section 8.2720 ”Severability” repealed in its entirety and replaced with Section 8.2720 “Grading and Building sites” by Ord. #2012-11 on October 23, 2012]

[Section 8.2720 amended by Ord. #2016-17 passed January 31, 2017]

8.2435 Special Setbacks.

[Section 8.2435 deleted by Ord. #2012-11 on October 23, 2012]

8 DEVELOPMENT
234
CHAPTER
REGULATIONS

SUPPLEMENTARY PROVISIONS

8.2800 Improvement Procedures. In addition to other requirements, public or private improvements to be installed by the applicant either as a requirement of these standards or other applicable regulations or at his or her own option, shall conform to the requirements of this article:

1. Plan Review and Approval. Improvement work shall not be commenced until plans thereof have been reviewed and approved by the Community Development Director, or Hearings Body, or a designated representative thereof. To the extent necessary for evaluation of a proposed development, such improvement plans may be required before approval of the tentative plat or preliminary map or drawing.

2. Public Improvements as Platted. Public improvements shall be designed, installed, and constructed as platted and approved by the City Engineering Division, and plans shall be filed with the final plat at the time of recordation or upon completion.

3. Inspection. Improvements shall be constructed under the inspection and approval of a city Inspector. Expenses incurred thereby shall be borne by the applicant/owner. The inspector may require changes in sections and details of the improvements if unusual conditions arise during construction to warrant such changes.

4. As-Built Plans. A map showing the completed public improvements shall be filed with the Community Development Department upon completion of the improvements.

[Section 8.2800 amended by Ord. #2012-11 passed October 23, 2012]

8.2805 Improvements in Partitions. The same improvements may be required to be installed to serve each building site of a partition as are required of a subdivision.

[Section 8.2805 amended by Ord. #2012-11 passed October 23, 2012]

8.2810 Acceptance of Improvements. Improvements shall be considered for acceptance after final inspection, after the improvements have been completed

[Section 8.2810 amended by Ord. #2012-11 passed October 23, 2012]

8.2815 Transportation System Analysis. It shall be the burden of the developer to evaluate transportation system impacts when a proposed development involves either a Subdivision, Site and Design Review, PUD, Master Plan, Comprehensive Plan Amendments, a change or expansion of use, or any other development that the City Engineer deems necessary. Transportation system analyses are not required for residential site plan review for up to four units or for partitions up to three lots.

1. The following vehicle trip generation thresholds shall determine the level and scope of transportation analysis required for a new or expanded development. Trip ends shall be calculated as per the Institute or Transportation Engineers manual, Trip Generation, current edition, or local trip generation studies prepared by a qualified registered professional engineer and approved by the City Engineer.

A. A development will be required to provide a Trip Generation Report per Section 8.2815(2) for developments which generate less than 200 daily or 20 p.m. peak hour vehicle trips. The Trip Generation Report shall be prepared by a professional engineer licensed in the state of Oregon. The Engineering Department will review

CHAPTER 8 DEVELOPMENT REGULATIONS 235

and evaluate the Trip Generation Report to determine if a Transportation Impact Analysis (TIA) is required.

Projects that generate less than 200 daily or 20 p.m. peak hour trip ends may be required to provide a TIA when, in the opinion of the City Engineer or his/her designee, significant capacity and/or safety problem is caused, or adversely impacted by the development. The City Engineer, or designee, shall determine the scope of the analysis.

B. If a proposed development will generate 200 or more daily trip ends, or 20 or more p.m. peak hour trip ends, then a TIA shall be required per Section 8.2815(3).

1. The applicant’s engineer shall consult with the City Engineer, or designee, prior to preparing the TIA to verify the scope of the study. The City shall respond in writing within 30 days.

a. When applicable, the applicant’s engineer shall concurrently consult with ODOT prior to preparing the TIA to verify the study area.

2. The City Engineer shall determine when a TIA has satisfied the requirements of the development’s impact analysis.

3. The TIA shall bear the stamp and signature of a licensed professional engineer in the State of Oregon

2. When a Trip Generation Report is required, it must demonstrate the existing use, proposed use, existing trips per the ITE, and proposed trips per the ITE. Local trip rates may also be considered if supported by traffic counts conducted according to ITE guidelines. The report must include a conceptual site plan that shows adjacent roadways, alleys, roadway classifications, and access points.

3 When a TIA is required, it must demonstrate that the following standards are met:

A. The standard of measurement that will determine the acceptability of traffic flow on City streets will be a delay-based level of service as defined by the Highway Capacity Manual, Special Report 209, third Edition (2000 update or subsequent document updates) published by the Transportation Research Board. The determination of LOS shall be calculated by a methodology that is approved by the City Engineer The acceptable standard of LOS for City streets shall be LOS E during the peak 15 minutes of the peak hours of the average weekday. A lesser standard shall be acceptable at unsignalized intersections with low volume minor street approaches if the volume-to-capacity ratio is less than 0.90 and the 95th percentile vehicle queue is less than four vehicles during the peak hour.

B The Average Daily Traffic (ADT) volume of Local Street roadways within the City shall be less than 1,200 vehicles per day (VPD). Developments which add vehicle trips to Local Streets with an ADT greater than 1,200 VPD may be asked to provide mitigation in the form of additional access to the site, when in the opinion of the City Engineer, the residential livability is degraded by excessive local street traffic volume.

C. New development that will cause degradation below those levels shall be required to provide mitigating transportation system improvements that will restore the LOS to the accepted standard, as is practical, as determined by the City Engineer and pursuant to the adopted City’s Transportation System Plan. Where there are impacts to the State Highways, the City and ODOT shall work cooperatively to determine appropriate courses of action based on ODOT and City standards.

4. The TIA shall include at a minimum, the following intersections:

A. All site access intersections.

CHAPTER 8 DEVELOPMENT REGULATIONS 236

B. Nearest intersecting collector or arterial street upstream and downstream of the development.

C. Any other collector or arterial street intersection that would experience an increase of 25 additional peak hour trips.

D. Additional intersections requested by staff in the basis of anticipated impacts resulting from the development.

5. The TIA shall include the following study time frames addressing:

A. Existing conditions.

B. Completion year of each significant phase of development.

C. Five year forecast beyond final phase

6. The following Tables are required in the TIA:

A. Trip Generation (including phase breakdown if applicable).

B. LOS Table (LOS for every analysis scenario at every study area intersection. Report LOS, delay, V/C ratio, 95% vehicle queue, and any additional pertinent analysis results).

7. The following Figures are required in the TIA:

A. Vicinity/Locator Map.

B. Site or Tentative Plan Map

C. Background Traffic Volumes (all study intersections and analysis years).

D Trip Distribution and Assignment

E. Background + Site Generated Traffic Volumes (all study intersections and analysis years)

8 Other Analysis Standards (as required by the study)

A. Signal Warrants shall be performed where applicable per the Manual on Uniform Traffic Control Devices, current edition.

B. Left Turn Lane Warrants shall be provided where applicable per ODOT criteria based on the Texas Transportation Institute (TTI) curves.

C. Right Turn Lane Warrants shall be provided where applicable per ODOT criteria.

D The acceptability of sight distance at all study area intersections shall be determined per AASHTO (current edition) standards.

E. Traffic signal progression analysis may be required if a new signal is proposed. The City Engineer shall approve the method of traffic signal progression analysis

F. Roadway improvements are to be based on the City of Redmond Standards and Specifications and ODOT design standards.

[Section 8.2815 amended by Ord. #2012-11 passed October 23, 2012]

[Section 8.2815 amended by Ord. #2022-09 passed December 13, 2022]

8.2820 Access Management Standards. All land use approvals shall be in compliance with the following standards.

1. Driveway spacing and corner clearance as follows:

237
CHAPTER 8 DEVELOPMENT REGULATIONS
Roadway Classification Minimum Access Driveway Spacing Minimum Access Clearance to Corner Intersection Spacing (Min.) Local Street No Restrictions 30 ft 165 ft Minor Collector 50 ft 80 ft 330 ft Major Collector 165 ft 165 ft 330 ft Minor Arterial 330 ft 330 ft 1/4 mile Major Arterial ODOT Stds ODOT Stds ODOT Stds

2. In all instances, access near an intersection shall be located beyond the influence of standing queues and opposing left turns sharing a continuous two-way left turn lane. This requirement may result in greater corner clearance or access spacing than the minimum distance indicated.

3. Every lot or parcel shall be permitted an access. In the event that the access management standards cannot be achieved, shared access with adjacent property shall be explored and provided where available.

4. Access shall be taken from the lower order street or alley unless otherwise approved by Public Works and/or ODOT through the land use review and approval process. Access to higher order streets may be allowed for emergency vehicles when restricted with a locked fire gate, bollards or similar, when approved or required by Redmond Fire and Rescue.

5. Unless adequate demonstration of site necessity, intersection safety and functionality are provided, through the land use review process, new lots and/or parcels will be limited to a single vehicular access. Existing lots may be permitted a secondary access when approved by the City Engineer.

6. The access management standards apply to new development, redevelopment, subdivision, and partitioning of land.

7. Corner clearance is measured from the edge of right-of-way to the nearest edge of access. Spacing is measured from centerline of access/intersection to centerline of access/intersection.

8. Adequate intersection sight distance and clear zone shall be maintained at all access/driveway locations per AASHTO standards (American Association of State Highway and Transportation Officials).

9. Public Works may require supporting information, including but not limited to traffic count data, trip generation, trip distribution, truck and trailer turning/backing templates and/or onsite circulation diagram. Transportation Impact Analysis study, etc., in order to make a proper determination of access/driveway location.

10. Access/driveway locations may require alignment with existing driveways on the opposite side of the roadway as determined by Public Works or through the land use review and approval process.

11 Access within the North Redmond US 97 Interchange Area Management Plan (IAMP) shall also conform to the 2007 “North Redmond US 97 Interchange Area Management Plan (IAMP),” as amended

[Section 8.2820 amended by Ord. #2012-11 passed October 23, 2012]

[Section 8.2820 amended by Ord. #2022-09 passed December 13, 2022]

8.2825 Street Dedications. Any person desiring to create a street not part of a subdivision or partition shall make written application to the Community Development Department.

1. Application. Said application shall be accompanied by the required information and appropriate filing fee. In cases where such dedication would have the effect of creating a land division, the dedication shall be treated as a new subdivision or partition as applicable.

2. Minimum Design Standards. The minimum standards of design and improvements for the dedication of a street shall be in compliance with the City of Redmond Public Works Standards and Specifications and all other applicable street standards and regulations as specified in Section 8.2710.

3. Procedure.

CHAPTER 8 DEVELOPMENT REGULATIONS 238

A. Upon receipt of written application and appropriate filing fee for street dedication, the Community Development Director shall refer the proposal to the City Engineer, or designee, for review and recommendation.

B. The City Engineer shall report his or her findings and recommendations regarding the proposed dedication to the Community Development Director

C. Upon receipt by the Community Development Director of written findings and recommendations from the City Engineer, the proposal shall be submitted to the City Council for a public hearing, unless part of a proposed project undergoing Planning Commission review.

D. The only notice required for a hearing under this section shall be by publication.

E. Following the hearing, the Council may accept or reject the proposed dedication.

[Section 8.2825 amended by Ord. #2012-11 passed October 23, 2012]

[Section 8.2825 amended by Ord. #2020-15 passed November 10, 2020]

8.2830 Variances.

1. Major Variance. Upon application, the Community Development Director, or Hearings Body, may authorize variances from the standards of this Chapter pursuant to the criteria listed below if the applicant can establish:

A. That special conditions exist which are peculiar to the subject property, and which are not applicable to other properties in the same zone which make conformance to these standards impractical.

B. That the variance is the minimal deviance from these standards needed to accomplish the objective

C. That the varied requirement(s) will conform to the purpose and objectives of the Comprehensive Plan and of these standards and will have no adverse impact on surrounding properties or on the provision of general urban services in the area.

D. That strict interpretation of these standards would deprive the applicant of rights commonly enjoyed by other properties in the same zone under the terms of these standards.

E. That the special conditions and circumstances do not result from actions of the applicant and such conditions and circumstances do not merely constitute pecuniary hardship or inconvenience.

2. Minor Variance. A minor variance under this Chapter shall be no greater than 25% of the requirements from which the variance is sought. Upon application, the Community Development Director, or Hearings Body, may authorize variances from the standards of this Chapter pursuant to the criteria listed below if the applicant can establish:

A. More efficient use of the site.

B. Preservation of natural features where appropriate

C Adequate provision of light, air, and privacy to adjoining properties.

D. Adequate access.

E. That the variance will have minimal adverse impact on the livability, value or development potential of abutting properties and the surrounding area.

F. consistency with the overall objectives of the Comprehensive Plan.

3. The Community Development Director, or Hearings Body, may attach such conditions to any variance granted that will ensure the variance meets the objectives of the Comprehensive Plan and of these standards and does not have an adverse impact on surrounding properties or on the provision of general urban services in the area.

[Section 8.2830 amended by Ord. #2012-11 passed October 23, 2012]

CHAPTER 8 DEVELOPMENT REGULATIONS 239

8.2835 City as Beneficiary to Covenants, Conditions and Restrictions. When Covenants, Conditions and Restrictions (CCR’s), or other similar documents, are required by either the provisions of this Code or through the land use review process, the City of Redmond may require the CCR’s (or other documents) include a provision or provisions that allow the City to come onto the property(s) that are subject to the CCR’s for the purpose of removing, repairing or maintaining improvements and other common areas in the event such improvements or common areas are not property maintained or otherwise kept in good order. The provision(s) shall state that the City has sole and exclusive discretion to determine the need for and timing of any such removal, repair, or maintenance. The provision shall authorize the City to recover the cost of such removal, repair, or maintenance by directly billing the record owner of the property(s) subject to the CCR’s or the property(s) directly benefited by the removal, repair, or maintenance. In the event a bill is not paid, the City may impose a lien on the property(s), which shall be recorded and may be enforced in the manner of an assessment lien. The inclusion of a provision or provisions described in this section does not affect the obligations of an association, group and/or other persons or property owner(s) designated in the CCR’s from any responsibilities or obligations respecting such improvements or common areas, nor shall it obligate the City to such undertake such removal, repair, or maintenance.

[Section 8.2835 added by Ord. #2012-11 passed October 23, 2012]

8.2840 CC&Rs Middle Housing. CC&Rs developed on or after January 1, 2021, shall no restrict middle housing per ORS 93.277 as amended.

[Section 8.2840 added by Ord. #2022-04 passed June 28, 2022]

CHAPTER 8 DEVELOPMENT REGULATIONS 240

ARTICLE IV - SITE AND DESIGN REVIEW STANDARDS INTRODUCTORY PROVISIONS

8.3000 Purpose and Intent. The purpose of this Article is to conserve and enhance the appearance of the City and to promote functional, safe, and innovative site development. The intent is to ensure that there is general compatibility between adjoining uses, outdoor space is designed and installed in a functional and attractive manner, vehicular access and circulation is designed and constructed consistent with maximizing public safety, adequate public utilities are available, and the structures on-site provide a consistent architectural theme. This Article further implements the policies and goals of the City of Redmond Comprehensive Plan.

8.3005 Applicability of Site and Design and Review Site and Design Review shall be required for any new development or use containing a structure, or multiple structures, unless exempted in Section 8.3010

[Section 8.3005 amended by Ord. #2016-17 passed January 31, 2017]

[Section 8.3005 amended by Ord. #2022-04 passed June 28, 2022]

[Section 8 3005 amended by Ord. #2022-09 passed December 13, 2022]

8.3010 Exemptions. The following are exempt from Site Design and Review:

1. Normal maintenance and repair.

2. Hangar development entirely on and interior to airport property

3. Single family detached dwellings and middle housing, unless located on a lot within 100 feet of the canyon

4. Manufactured home in an approved manufactured home park.

5. Additions to an existing building of less than 25% of the total building square footage, not to exceed 1,000 square feet.

6. Any development that does not include the construction or alteration of a building which will have a negligible impact on the land as determined by the Community Development Director, or designee

7. Overhead electrical power transmission lines and poles greater than 12.5 kv.

8. Child care facility in residential neighborhoods that utilize existing structures

[Section 8.3010 amended by Ord. #2016-17 passed January 31, 2017]

[Section 8.3010 amended by Ord. #2017-12 passed December 12, 2017]

[Section 8.3010 amended by Ord. #2020-15 passed November 10, 2020]

[Section 8.3010 amended by Ord. #2022-04 passed June 28, 2022]

[Section 8.3010 amended by Ord. #2022-09 passed December 13, 2022]

8.3015 Procedure. Prior to submitting a Site and Design Review application, the applicant shall be required to submit a Pre-development application and meet with the Community Development Director, or designee, to review the proposal. A Site and Design Review application shall be submitted and reviewed by the Community Development Director, or designee, as an administrative land use decision with prior notice consistent with Section 8.1310

A minor alteration or modification may be submitted for an approved Site and Design Review consistent with Section 8.1400. In addition to the procedures above, procedures to

CHAPTER 8 DEVELOPMENT REGULATIONS 241

review Site and Design Review applications for properties in the C-2 Central Business District Commercial Zone and Downtown Overlay District are established in Sections 8.3040 and 8.3045

[Section 8.3015 amended by Ord. #2020-15 passed November 10, 2020]

[Section 8.3015 amended by Ord. #2022-09 passed December 13, 2022]

8.3017 Neighborhood Meeting. Proof a neighborhood meeting was conducted for residential or mixed use development proposals that generate 200 or more daily trip ends, or 20 or more p.m. peak hour trip ends, where a Transportation Impact Analysis (TIA) is required. See Section 8.0385 for meeting requirements.

[Section 8.3017 added by Ord. #2022-09 passed December 13, 2022]

8.3020 Site Improvement Agreement. Where public improvements are required as a condition of approval, the applicant may be required to execute and record an Improvement Agreement subject to the following.

1. The developer may, in lieu of completion of the required improvements, request the Community Development Director, or designee, to approve an agreement specifying the schedule by which the required improvements and repairs shall be completed. Provided, however, any schedule of improvements agreed to other than sidewalks shall not exceed two (2) years from the date of land use approval. The agreement shall also provide the following information:

A. The repairs required and cost of the project.

B. That the City may call upon the security filed to construct or complete the improvements and repairs if the schedule of improvements is not adhered to.

C. That the City shall recover the full cost and expense of any work performed by the City to complete construction of the improvements and repairs including, but not limited to attorneys' and engineering fees.

D. That a warranty bond for two (2) years shall be deposited with the City following acceptance of the improvements Said bond shall be in the amount of ten (10) percent of the value of the improvements.

2. The Community Development Director, or designee, may reject an agreement authorized by this Section for any reason the Community Development Director, or designee, deems sufficient.

[Section 8.3020 amended by Ord. #2020-15 passed November 10, 2020]

[Section 8.3020 amended by Ord. #2022-04 passed June 28, 2022]

8.3025 Plans Required. The Applicant shall submit to the Community Development Department the following documents with the required fee.

1. Exterior elevations. Drawings or sketches of elevations for each proposed building. Such plans shall indicate the building height, primary building materials, color, shape, and other design features of the building, including the location of all exterior mechanical devices.

2. Site Plan. Site plans containing the following.

A. A drawing showing the floor plans for each building and a description of each internal “use.”

B. A written summary showing the following:

1. For commercial and industrial development:

CHAPTER 8 DEVELOPMENT REGULATIONS 242

a. The square footage of the “project area”, and a clearly defined outline of this area.

b. The percentage of the lot covered by structures.

c. The total number of parking spaces.

d. The total square feet to be landscaped and location of existing trees.

e. The total square feet within the project area to be left natural, gravel, or other surface not required by this provision.

2. For residential developments.

a. The total square footage of all floors of the structures.

b. The number of dwelling units in the development (include the units by the number of bedrooms in each unit, e.g., ten (10) one (1) bedroom, 25 two-bedroom, etc.)

c. Percentage of lot coverage by:

i. Structures.

ii. Recreation areas

iii. Landscaping and location of existing trees.

iv. Parking and paved areas.

C. The legal description, dimensions, and total square footage or acreage of the site.

D. All vehicle and pedestrian access points to public rights-of-way and the interior circulation plan for the property.

E. Project name.

F. A vicinity map

G. The identified scale.

H. North arrow.

I. Date the site plan is prepared

J. Street names, locations, and right-of-way widths of all existing and proposed streets within or on the boundary of the proposed development

K. Lot layout with dimensions for all lot lines.

L. Zoning of the site

M. Zoning of all adjacent properties.

N. Location and use of all proposed and existing buildings, fences, and structures within the proposed development. Indicate which buildings are to remain and which are to be removed.

O. Location and size of all existing & proposed public utilities, serving the subject property, in and adjacent to the proposed development with the locations shown of:

1. Water lines, services, backflow prevention device and meter sizes.

2. Sewer lines, manholes, services, and cleanouts.

3. Storm drains, facilities and catch basins.

4. Power / phone poles and lines; show whether the lines are overhead or underground.

5. Existing fire hydrants.

P. The proposed location of:

1. Connection to the City water system.

2. Connection to the City sewer system.

3. The proposed method of drainage of the site.

4. All exterior mechanical equipment or equipment areas.

Q. Location of existing canals and laterals including easements and right-of-way.

R. Location of existing drainage on-site.

S. Location of all utility and access easements on the property.

T. Location, size, and use of all contemplated and existing public areas within the proposed development.

CHAPTER 8 DEVELOPMENT REGULATIONS 243

U. All fire hydrants proposed to be located within the site.

V. A topographic map of the site at a contour interval not to exceed five (5) feet.

W. Location of all parking areas and dimensions of all parking spaces.

X. Locations of all existing natural features including, but not limited to, any existing trees having a six (6) inch trunk diameter or greater, three (3) feet above grade, and any natural drainage ways existing on the site, and all significant natural features including (but not limited to) outcroppings of rocks, boulders, etc. Indicate any contemplated changes that would affect a natural feature.

3. A Landscape Plan. A landscape plan is required for all multi-family complex, commercial or industrial development. The landscape plan shall include the following:

A. Area Required. Each property developed shall show at least the following percentage of the total site or project area to be developed in landscaping.

B. Plant types. Identify the varieties (botanical name) of each plant.

C. Plant size at time of planting. Identify the size of each proposed plant at time of planting. The minimum size at time of planting shall be one gallon for a shrub and fifteen gallons for a tree, and no less than 1-1/2" caliper measured 3' above finished grade.

D. Location of existing trees. All trees having a six-inch trunk diameter measured 3' above natural grade or greater shall be shown on the landscape plan.

E. Location of vegetation Location of existing vegetation to be removed and retained on site.

F. The location and design of new landscaping or landscaped areas.

G. Irrigation. Description of the method of irrigation shall be submitted showing type of irrigation system and approximate location of water delivery lines

H. Street tree plan. Species and location of each tree to be planted shall be shown on the landscape plan.

2. Lighting Plan. A lighting plan showing the type, placement, wattage, and method of shielding all exterior lights from adjacent sites shall be submitted.

3. Neighborhood Compatibility Statement. A statement shall be submitted that addresses the applicable neighborhood compatibility criteria within 8.3035(3)

[Section 8.3025 amended by Ord. #2022-04 passed June 28, 2022]

[Section 8.3025 amended by Ord. #2022-04 passed June 28, 2022]

8.3030 Special Studies, Investigations and Reports. Special studies, investigations and reports may be required to ensure that the proposed development of a particular site does not

244
CHAPTER 8 DEVELOPMENT REGULATIONS
Zones R1 to R-5 15% C-1 to C-5 15% Downtown Overlay District 0% M-1, M-1.5, M-2, LLI 15% Airport Per Section 8.3035 only. Park, OSPR, PF 15% FG Not Applicable MUN & MUE 15% MULW & MULW-SD 10%

adversely affect the surrounding community, does not create hazardous conditions for persons or improvements on the site. These may include Traffic Impact Analysis, trip generation or parking studies/reports, impact of contaminated soils, soil conditions, flooding of waters and excessive storm water runoff, tree preservation, and other concerns of the development’s impact on adjacent properties or public facilities.

1. An approved Transportation Impact Analysis (TIA) will be required prior to land use application completeness acceptance. A TIA approval memorandum, issued by the City Engineer, shall be included with the application submittal per Section 8.1010 .

[Section 8.3030 amended by Ord. #2020-15 passed November 10, 2020]

[Section 8.3030 amended by Ord. #2022-09 passed December 13, 2022]

8.3035 Design Review Criteria. Prior to issuance of a building permit, the following applicable criteria shall be met.

1. Installation of Utilities. All new service lines and relocated transmission lines shall be placed underground. Existing overhead transmission lines or utility lines shall be relocated underground unless otherwise approved by the CDD Director, City Engineer, or Hearings Body.

2. Right-of-Way Dedication & Public Improvements. Adequate right-of-way dedication and improvements to streets, alleys, sidewalks, bikeways, and other public ways shall be provided by the Owner that conform to City of Redmond adopted Transportation Plan, Transportation Impact Analysis & Access Management Standards, Public Works Standards & Specification, and the local service street policies, including the grid policy. In lieu of actual construction of improvements, the City may choose to accept financial payment, contribution, other approved security, or agreement for the purpose of providing the needed improvements. The City may require that no building permit be issued until public improvements are completed; this shall be clearly identified (if applicable) within the Site Improvement Agreement.

3. Neighborhood Compatibility. This standard shall not apply to any development that requires a conditional use permit. Subsections B. and D. do not apply to needed housing (ORS 197.307).

A. The proposal will be consistent with applicable zoning standards.

B. The location, size, design, and physical characteristics of the proposal (such as setbacks, height, position of structure on the site) will have minimal adverse impact on the livability or value of abutting properties.

C. The project will not exceed the operational capacity of public facilities, and which are required to serve the development unless the City Engineer determines that sufficient capacity can be provided. The capacity of public facilities and services shall be based primarily on the City’s Water and Wastewater Master Plan and the Transportation System Plan.

D. The proposal is consistent with the applicable Great Neighborhood Planning Principles described in Section 8.0270(3)(C)(13) and adopted Area Plans.

4. Architectural Requirements.

A. Architectural theme. A specific architectural theme is required for any structure that is a candidate for Site and Design review. The theme used shall be carried out completely in the design and not mixed with conflicting themes. The theme used shall be consistent with all buildings on the subject site.

B. False front design. A false front design of a building shall be avoided, except for the Downtown (C-2) Commercial District.

CHAPTER 8 DEVELOPMENT REGULATIONS 245

C. Historical Buildings. Compliance with the preservation of historic buildings and sites pursuant to section 8 0855 and 8.0860 where applicable.

D. Commercial and Industrial buildings.

1. Building Orientation. The City may require the applicant to position buildings to have their architectural orientation toward the primary focal point on the site (typically the higher ordered street). However, the City may also require the applicant to orient the building in any position on the site if the perceived focal point is internal to the site. At no time shall unbroken spans of side or rear walls of buildings be visible from any street without architectural treatments and screening added. Orientation of the building shall consider compatibility with neighboring structures in terms of setbacks, height of building, architectural treatment, and entrances of neighboring buildings.

2. Buildings shall comply with the City’s access policies regarding vehicle access and provide adequate pedestrian ways to safely navigate the parking areas and to connect to the public sidewalks. Adequate internal vehicle access shall be designed to minimize or eliminate vehicle/vehicle or vehicle/pedestrian conflicts.

3. Commercial Drive-up windows and drive-throughs should be oriented away from the principal street.

4. Industrial Building Basic Architecture. To avoid the effect of single, long, or massive walls with no relation to human size, industrial buildings shall provide features of architectural interest for all street-facing facades.

a. Defined Building Entrance and Orientation. At least one entrance (not including emergency exit) of any building shall be oriented toward the street. A primary building entrance shall be clearly defined and recessed or framed by a sheltering element such as an awning, canopy, or portico.

b. Street-facing facades shall include a change of material (such as a wainscot or similar architectural features) along the façade(s).

c. Awnings, canopies, or structural overhangs of at least 3 feet in depth shall be provided over doors and windows along the primary streetfacing façade. This requirement does not apply to roll up doors.

E. Multi-Family Complexes. This section establishes a process for the review of multi-family complexes development proposals in order to promote functional, safe, innovative, and attractive development that is compatible with the natural and manmade environment. The intent is to promote compatible development, foster the attractiveness and functional utility of multi-family development, protect public and private investments in the area, raise the level of community expectations for the quality of its environment.

1. Table A. Minimum Standards. The following minimum standards apply in each of the Residential zones:

CHAPTER 8 DEVELOPMENT REGULATIONS 246
Multi-Family Complex Standards: R-4 R-5 Minimum Setback Distance Front 15 15 Side 15 15 Rear 20 15 Garage 20 20 Maximum Building Height 45 45

2. Building Orientation All buildings facing a public street right of way shall have a functional primary entrance oriented to each public street frontage, except for buildings fronting along and facing a Major Arterial Street as designated on the City of Redmond Transportation System Plan. Additional primary entrances, if provided, or, in cases where buildings are internal to the development and do not front on the public street right of way, shall be oriented to a private common area (common areas include private streets, courtyards, or open spaces). A hard-surfaced pedestrian sidewalk or pathway connecting the building entrances to the public streets right of way shall be provided.

3. Building Form. In order to preclude large expanses of uninterrupted building surfaces, each floor of the building shall include at least three of the following features within every 30 lineal feet or portion thereof along all elevations of the structure:

a. Recess (e.g., deck, patio, courtyard, entrance, or similar feature) that has a minimum depth of 4 feet;

b. Extension (e.g., floor area, deck, patio, entrance, or similar feature) that projects a minimum of 2 feet and runs horizontally for a minimum length of 4 feet; and/or

c. Offsets or breaks in roof elevations of two feet or greater in height.

d Offset or breaks in building façade elevations of 2 feet or greater in relief.

4. Detailed Architectural Features All buildings shall provide detailed design along all elevations (e.g., front, rear, and sides). Detailed design requires use of at least five of the following architectural features on all front and exterior side (corner lot) elevations and at least three of the following architectural features on all interior and rear yard elevations, at a minimum of every 30 lineal feet of horizontal wall Architectural features shall be varied on the different building elevations. The standard applies to each full and partial building story.

a. Dormers

b. Gables

c. Recessed and covered porch entries of at least 4 feet in depth

d Towers, at least 2, minimum 2-foot elevation change to roof ridge.

e Eaves (minimum 12-inch projection)

f Off-sets in building face or roof (minimum 16 inches)

g Window trim on all windows on the façade

h Bay or oriel windows

i Balconies

j Decorative patterns on exterior finishes (e.g., paint scheme, scales/shingles, wainscoting, ornamentation, and similar features)

k An alternative feature providing visual relief and detail, similar to option a-j above, may be approved through the development review process.

5. Exterior Finish. The exterior finish on all vertical surfaces shall be comprised primarily of materials such as masonry/wood lap siding, shingles, brick, or stucco. The use of sheet metal, plywood, T1-11 siding, smooth face cinder block and other similar materials is not permitted except as minor accents. Textured cinder blocks are permitted on side and rear

CHAPTER 8 DEVELOPMENT REGULATIONS 247 Maximum Density (Units/Net Acre) 14.5 17.4

façades but shall not exceed 40% of the total exterior wall area of the ground/bottom floor

6. Building Alignment. There shall be no window to adjoining window alignment when adjacent buildings are less than 30 feet apart. Frosted windows or similar are exempt from this standard.

7. Trash Receptacles. A common trash enclosure shall be required and is subject to the following standards.

a. Trash enclosures shall be oriented away from adjacent residences and shall be screened by use of brick or stone walls.

b. Trash enclosures shall be accessible to trash pick-up vehicles and shall provide an unobstructed, straight on approach a minimum of 40 feet in length.

c. Trash enclosures, a minimum of six feet in height, shall be constructed of masonry, durable and attractive walls, with solid screen doors and shall be visually consistent with project architecture. Gate opening shall be a minimum of 10 feet wide and shall not include a center pole or other obstruction preventing access to the enclosure Gates must swing open 180 degrees and shall include a gate stop to hold it open.

d. Enclosure areas shall contain sufficient space to accommodate both refuse disposal and recycling containers adequate to accommodate the degree of development. Disposal needs shall be calculated at 0.3 yards per dwelling unit for refuse and 0.2 yards per dwelling unit for recycling. The following construction specifications shall be used as a guide for enclosure design based on the calculation requirements listed herein:

e. The area standards for trash enclosures listed in subsection (d.) above shall be met unless documentation is submitted from the applicable trash collection company indicating that an alternative design will be adequate to accommodate the amount of refuse and recycling that is anticipated to be generated on an ordinary basis.

8. Mechanical Equipment. External mechanical equipment, such as heating or cooling equipment, pumps, or generators, that is located on the ground or on the roof of buildings, must be entirely screened from view at ground level by sight obscuring walls, fences, parapet, or other similar means consistent with the overall architecture of the development. Landscaping is not an acceptable alternative for such screening as specified herein Screening

248
CHAPTER 8 DEVELOPMENT REGULATIONS

shall be compliant with all applicable codes No heating or cooling equipment shall be placed on exterior walls unless completely screened from view.

9. Common Open Space. Common open space(s) shall be incorporated into the site plan for multi-family complexes as a primary design feature. A minimum of 15 percent of site area (inclusive of required setbacks but exclusive of dedicated street rights-of-way and land dedicated to other public uses like parks and schools), shall be provided as common open space and be suitable for a recreational play area, or group or community activities. However, in no case shall less than 3,000 square feet of common open space be provided. Such area shall be improved with turf, plantings, surfacing, equipment, structures, or buildings suitable for recreational use. The Hearings Body may require this area to be protected from streets, parking areas, or the like, by a fence or the equivalent. Sensitive lands and historic buildings or landmarks open to the public and designated by the Comprehensive Plan may be counted toward meeting the common open space requirements.

In conjunction with the open space requirements, all multi-family complexes with 20 or more units shall provide two or more amenities for the residents as listed below. Such amenities shall be centrally located for a majority of the residents.

a. Tot lot/play structure

b. Community garden

c. Picnic tables/barbecue areas

d. Swimming pool, splash pad, or other water feature

e. Indoor recreation facility

f. Sports courts (i.e., basketball, tennis, volleyball)

g. Other active or passive recreation area that meets the intent of this standard as approved through the development review process.

10. Private Open Space Private open space accessible from interior shall be required for all triplexes and quadplexes based on the following standards:

a. Ground/bottom floor housing units shall have front or rear patios or decks at least 4 feet deep and measuring at least 48 square feet in area.

b. A minimum of 50% of all upper floor (second floor and above) housing units shall have balconies or porches at least 4 feet deep and measuring at least 48 square feet in area.

c. To the maximum extent possible, private open space areas shall be oriented toward common open space areas and away from adjacent single family residences, parking areas and driveways and trash enclosures.

11. Special Yards. In order to allow air circulation and light, the distance between buildings on the same lot shall be as follows:

a. All front and rear walls, and all walls with a primary entrance shall be separated from all other walls on all other buildings on the same lot by a minimum of 20 feet.

b. The distance between side walls on buildings on the same lot shall be no less than 12 feet.

12. Special Fencing/Landscaping. A sight obscuring fence or evergreen hedge may be required by the Hearings Body when, in its judgment, such screening is necessary to preserve the values of nearby properties, protect

8 DEVELOPMENT
249
CHAPTER
REGULATIONS

the aesthetic character of the neighborhood or vicinity, and to provide security and privacy for occupants of the subject complex.

13. Storage. All multifamily dwellings and complexes shall provide for storage of furniture, tools, equipment, building materials or supplies belonging to the occupants or management of the complex. Each dwelling unit shall have one assigned, securable storage area, a minimum 18 square feet, but shall be of a minimum size and dimension that is suitable to accommodate one bicycle of average size. Storage areas may be indoor, such as attached or detached garages, or within specific areas what are internal to each dwelling unit. Storage areas may also be within outdoor structures such as within a separate storage building located on premises. The City may exempt or reduce the storage space requirement for “specialty housing”, such as senior housing or for housing for long-term infirm care.

14. Off-Street Parking. All off-street parking provisions addressed herein (including: number of spaces; loading areas; and design and improvement standards) shall be provided in conformance with Section 8.0500 through 8.0515. Plexes shall comply with the City’s access policies regarding vehicle access and provide adequate pedestrian ways to safely navigate the parking areas and to connect to the public sidewalks. Adequate internal vehicle access shall be designed to minimize or eliminate vehicle/vehicle or vehicle/pedestrian conflicts in off-street parking areas. If off-street parking areas are proposed to be placed between the primary building elevations and public streets, the application shall be subject to a public hearing pursuant to Article II – Land Use Procedures, Sections 8.1000 through 8.1720

F Exterior Mechanical Equipment. These shall be screened so as not to be visible from public streets or residences and not placed on exterior walls unless fully screened

G Surfacing. Gravel is prohibited as a surfacing material in the commercial or mixed use zones. Areas that are not part of the required landscaped areas shall be surfaced with asphalt or concrete unless natural, undisturbed open areas.

H. Building Design for Automotive Service Stations. The entrance to the service bays shall not be open to the street but shall be so designed to face the rear or interior side property line.

I. Retail, Office, Commercial and Mixed Use Buildings in the MUN and MUE zones.

1. Building Entrances and Orientation At least one entrance (not including emergency exit) of any building shall be oriented toward the street and the main entrance shall be accessed directly from a public sidewalk. Primary building entrances shall be clearly defined and recessed or framed by a sheltering element such as an awning, arcade, or portico for weather protection.

2. Entries to retail, office, and mixed-use buildings in the MUN zone shall be at sidewalk level.

3. Entryways. Retail, office, commercial and mixed-use buildings in the MUN zone shall have clearly defined, highly visible customer entrances that include at least three of the following elements, listed below.

a. Recesses/projections;

b. Arcades;

c. Raised corniced parapets over the door;

d. Peaked roof forms;

250
CHAPTER 8 DEVELOPMENT REGULATIONS

e. Arches;

f. Outdoor patios;

g. Architectural details such as tile work and moldings that are integrated into the building structure and design;

h. Integral planters or wing walls that incorporate landscaped areas and/or places for sitting.

4. For buildings located at the corner of street intersections, one of the three treatments is required to emphasize the importance of this location in the district.

a. Locate the primary entry to the building at the corner of the building or within 25 feet of the corner of the building.

b. Incorporate prominent architectural elements, such as increased building height or massing, a cupola, a turret, or a pitched roof, at the corner of the building or within 25 feet of the corner of the building.

c. Chamfer the corner of the building (i.e., cut the corner at a 45-degree angle and a minimum of 10 feet from the sidewalk corner) and incorporate include extended weather protection (arcade or awning), special paving materials, street furnishings, or plantings in the cut.

5 Facade Transparency. The main front (street-facing) elevation(s) shall provide at least 50% windows or transparency at the pedestrian level. The side elevations shall provide at least 25% transparency. The transparency is measured in lineal fashion (For example, 100-foot-long building elevation shall have at least 50 feet (50% of 100 feet) of transparency in length)

6. Minimum wall articulation, side or rear walls that face walkways may only include false windows and door openings defined by frames, sills and lintels, or similarly proportioned modulations of the wall, only when actual doors and windows are not feasible because of the nature of the use of the building.

7 Facade Treatment

a. Minimum Wall Articulation

i. Facades shall add architectural interest and variety and avoid the effect of a single, long, or massive wall with no relation to human size. No wall that faces a street or connecting walkway shall have a blank, uninterrupted length exceeding 30 feet in the MUN Zone without including, but not be limited to, at least two of the following:

(a) Change in plane,

(b) Change in texture or masonry pattern,

(c) Windows, trellises with vines, or

(d) An equivalent element that subdivides the wall into human scale proportions

ii. Facades greater than 100 feet in length, measured horizontally, shall incorporate wall plane projections or recesses having a depth of at least 3% of the length of the facade and extending at least 20% of the length of the facade. No uninterrupted length of any facade shall exceed 100 horizontal feet.

iii. Ground floor facades that face public streets shall have arcades, display windows, entry areas, awnings, or other such features along no less than 50% of their horizontal length.

iv. Ground floor facades that face public streets shall incorporate at least two of the following elements:

251
CHAPTER 8 DEVELOPMENT REGULATIONS

(a) Canopies or overhangs (5’-0” minimum, measured from either the face of the column or the street-facing elevation) for the width of the building;

(b) Transom window;

(c) Storefront frieze, horizontal sign band, or a belt course above the transom window or mezzanine level;

(d) Window plant box (minimum of one per window);

(e) Projected window sill (12” to 24” above grade).

v. Building facades must include a repeating pattern that includes any one or more of the following elements:

(a) Color change;

(b) Texture change;

(c) Material module change.

vi. Facades shall have at least one of elements subsections (8)(a)(ii), (iii) or (iv) of this section repeat horizontally. All elements shall repeat at intervals of no more than 30 feet, either horizontally or vertically.

b. Common concrete masonry unit (CMU) is prohibited (textured CMU is allowed).

c. All sides of the building shall include materials and design characteristics consistent with those on the front. Use of inferior or lesser quality materials for side or rear facades shall be prohibited.

d. Trellises, canopies, and fabric awnings may project up to five feet into front setbacks and public rights-of-way, provided that the base is not less than eight feet at the lowest point and no higher than ten feet above the sidewalk Awnings shall be no longer than a single storefront unless multiple storefronts exist. If multiple storefronts exist, trellises, canopies, and fabric awnings shall create uniform cover without breaks

8. Roof Treatments

a. All facades shall have a recognizable “top” consisting of, but not limited to:

i. Cornice treatments, other than just colored “stripes” or “bands,” with integrally textured materials such as stone or other masonry or differently colored materials; or

ii. Sloping roof with overhangs and brackets; or

iii. Stepped parapets;

iv. Special architectural features, such as bay windows, decorative roofs and entry features may project up to three feet into street rights-of-way, provided that they are at least nine feet above the sidewalk

5. Landscaping.

A. Plant sizes. All required shrubs shall be at least 1-gallon size and all required trees 15-gallon size at time of planting, and no less than 1-1/2" caliper measured 3' above finished grade. Applicants must show evidence of paid contracts or commitments for landscaping work or other proof/evidence the work will be completed as required and on time.

B. Vegetative cover. All required landscape areas shall be planted with shrubs, trees and or living ground cover to a minimum of 50% vegetative cover at the time of planting. The other 50% may be covered with non-vegetative (not bark) mulch.

252
CHAPTER 8 DEVELOPMENT REGULATIONS

C. Outdoor storage and service areas. Outdoor storage and service areas shall be screened or buffered from adjacent properties or from public rights of way with a minimum 3-foot-tall and wide landscape strip or site obscuring fencing unless otherwise approved when adjacent to a similar use or a use that does not require screening from the proposed use. Screening shall provide no less than 50% visual screening at time of planting or installation and shall be shown by detail or photo.

D. Areas between buildings and property lines adjacent to a street. Areas between buildings and property lines adjacent to a street shall be landscaped with trees and shrubs within a minimum 3-foot-wide landscape strip.

E. A parking or loading area. A parking or loading area shall be separated from any lot line adjacent to a roadway by a landscaped strip at least 10 feet in width, and any lot line by a landscaped strip at least 5 feet in width. Within the C-2, C-4, MUN, MUE, or Airport zone, street trees or other landscaping located within the public right-of-way may be provided and considered as landscaping on site. The City may make an exception of the five (5) foot landscaping strip requirements if the following criteria apply:

1. The properties are adjacent to one another; and,

2. The parking and back up areas are adjacent to a common lot line. If an exception is granted, an easement shall be recorded on the deed. If at any time the parking area is no longer shared, the parking area shall conform to the five (5) foot landscape strip requirements.

F. Landscape areas abutting parking areas spaces, access aisles and loading zones Landscape areas abutting parking spaces, access aisles and loading zones shall incorporate a sight obscuring landscape screen. The screen shall be at least 3 feet higher than the finished grade of the parking area, except in required clear vision areas where the clear vision requirements must be met. The screen height may be achieved by a combination of earth mounding and plant materials. Fences with or without slats may qualify for parking lot screening on interior, side, or rear lot lines, or when adjacent to an alley.

G. Parking lot landscaping. In addition to meeting all other landscape requirements, at least ten (10%) percent of the paved parking shall include planting beds at least 5 feet wide, plus a ratio of one tree per ten parking spaces shall be planted.

H. Protection of Parking Lot Landscaping. Parking lot landscaping shall be protected by a curb or secured wheel guards at least 4" high with a minimum threefoot setback from the property line.

I. Preservation and Replacement of Trees. All existing trees having a six (6) inch trunk diameter 3' above grade or greater shall be preserved or replaced with fifteen gallon-sized trees at a ‘one-to-one’ ratio. Replacement trees shall have a minimum 1-1/2-inch trunk diameter measured at 3' above grade. This criterion shall be met in the submitted landscape plan.

J. Irrigation of plants and trees. Irrigation systems shall be required for all landscape areas and street trees except those designated for native vegetation. Type of irrigation system and approximate line location shall be shown on the site plan provided.

K. Street trees. Street trees are required to be installed on all residential, commercial, and industrial lots fronting on public or private streets, including on lots already platted at the time of adoption of this ordinance (Ord. #2013-04, 05/14/2013), but not yet developed. Street trees shall be provided in accordance with the following requirements:

CHAPTER 8 DEVELOPMENT REGULATIONS 253

1. Street Tree Plan. A street tree plan shall be provided showing the location of street trees, the types and the installation sizes of the trees and the type of irrigation proposed.

2. Timing of Improvements. All street tree(s) shall be installed prior to issuance of a Certificate of Occupancy for said construction. An exception to this shall be when it is not feasible to plant street trees due to cold weather, in which case a posting of a bond for the value of the tree shall be acceptable to ensure the tree is planted at the earliest feasible time as determined by the City.

3. Number of Trees Required. The number of street trees planted on each lot is dependent upon the lot width per the table below:

Lot Width Number of Street Trees Required

Corner Lot Tree requirements will be based on each street frontage length

50 ft and less 1

51-100 ft 2

101-150 ft 3

151 ft and more

One tree/40 feet of width fronting street

4. Spacing of Trees. Street trees shall be spaced in accordance with the table below:

Lot Width Tree spacing requirements

50 ft and less

The street tree shall be planted as close as possible to the center of the lot frontage, unless there is a conflict with a driveway, in which case it should be located as close as possible to the center.

Small canopy and columnar shaped trees shall be planted no further than thirty (30) feet apart

50 ft and more

Medium and large canopy trees shall be planted no further than forty (40) feet apart

Downtown Per Public Works Standards

An exception to the tree spacing requirements above includes when planting a tree would conflict with existing trees, retaining walls, utilities, driveways, views, or other similar physical barriers. In those cases, the Community Development Director, or designee, may approve alternative spacing.

5. Location of Trees. Street trees shall be planted within existing and proposed planting strips or in City approved sidewalk tree wells on streets without planting strips unless an alternative street tree location is approved during the planning review process. The location of trees shall meet the following setback requirements:

Object Tree Must be Setback from Distance Street Tree Must Be Setback From Object

Curb or sidewalk 3 ft (small and medium stature tree) and 3 ft (large stature tree); in no cases, shall the tree be more than 10 ft from the curb

254
CHAPTER 8 DEVELOPMENT REGULATIONS

6. Caliper Size. The minimum caliper size at planting shall be 1½ inches for single family residential and 1½ inches for commercial and industrial. If the required caliper is not available, the Community Development Director, or designee, may accept an alternative proposal that is comparable.

7. Approved Tree List. Types of street trees shall be selected from the City Arborist’s approved list of trees.

8. Maintenance. Maintenance of street trees shall be in accordance with standards listed in Section 3.600 of the Redmond Code.

9. Utility Easements. All street trees shall be placed outside utility easements unless the utilities are in a protective conduit If the existing planter strip contains such easements and is not wide enough to also accommodate street trees, the street tree location requirement in section 4 above may be adjusted by the Community Development Director, or designee, during the development review process

L. Maintenance of landscaping. All landscaping shall be continuously maintained and replaced when necessary to maintain compliance with an approved landscape plan. For landscaping valued in excess of $5,000, the City may require a maintenance bond.

6 Parking and Unloading Areas/Docks.

A Off-Street Parking Areas. Parking areas shall be as near the public entrances to the structure served as possible.

B. Parking lot. The parking shall be dispersed around the building, emphasizing the importance of the building and accessibility to entrances. In the MUN and MUE zones, parking shall be located to the side, rear, or under the building or in a designed central parking lot.

C. Truck loading areas or docks. Truck loading areas or docks, where delivery is done by semi truck with a specified loading dock, shall be located or screened from the street or from the major public entrance to the building. The Applicant shall identify the specific type(s) and size of delivery vehicles which will deliver and/or take goods to/from the building; the hours of delivery, the location of delivery doors and their dimensions. Truck loading areas or docks shall not inhibit circulation onsite or create access problems from adjacent streets

7. General Site Criteria.

A. Grading and Drainage.

1. Grading. Grading of on-site private land shall be managed to ensure that there are no adverse conditions created for neighboring lands or public rightof-way. A stormwater grading plan shall be developed that satisfies the following criteria:

a. On-site maintainability.

b. Professional civil engineering practices.

c. Identify responsibility for the management of the stormwater.

CHAPTER 8 DEVELOPMENT REGULATIONS 255 Curb line of an intersection, stop/yield signs, and streetlights 25 ft Adjacent Tree 20 ft Fire Hydrants, utility poles and directional traffic signs 10 ft Edge of a driveway 5 ft Property lines 2 ft

2. Drainage and Stormwater. Per direction of the City Engineer, and specified in the City of Redmond Standards and Specifications, drainage shall be managed on-site or as determined reasonable for shared responsibility for both conveyance and disposal of private and public right-of-way stormwater.

The storm event shall be for the 50-year 24-hour storm event, and require the total of public and private runoff to be contained within development boundaries. At a minimum, a drainage plan shall include engineering calculations meeting professional practice methods of storm volume development, original and new topography of the site, drainage pathways and flow direction, location of retainage, and/or disposal of stormwater.

3. Blasting. A permit for explosive blasting shall be obtained from Redmond Fire & Rescue and City Engineer prior to blasting.

B. Clear Vision Standard. No obstructions greater than three and one half (3 ½) feet high, including any landscaping which will grow greater than three and one half (3 ½) feet high, with the exception of trees whose canopy heights are at all times greater than eight (8) feet, may be placed in a clear vision area as defined in Article I, “Supplementary Provisions” .

C. Trash Collection Areas. Trash collection areas shall not be oriented towards building entrances or public streets other than alleys and shall be screened or enclosed with building material which is compatible with those used in the exterior of the building. Location(s) of all trash collection area(s) shall be reviewed and approved by the Community Development Department Director, or designee.

D. Water and Sewer Service. Connection to the City’s public water and sewer systems shall be required and shall comply with the current Public Works Standards & Specifications.

E. Accessibility. At least one pedestrian pathway, which meets UBC accessibility requirements, shall be provided within the boundary of the site from public transportation stops, accessible parking spaces, passenger loading and drop off zones, and public streets or sidewalks to an accessible entry. When more than one building or facility is located on a site, at least one accessible route shall be provided between accessible buildings and accessible site facilities. The accessible route shall be the most practical and direct route among accessible building entries, accessible site facilities and the accessible entry to the site. Walks paralleling vehicular ways shall be separated from vehicular ways by curbs, planted areas, railings, or other means between the pedestrian way and vehicular routes.

F. Streetscape standards in the MUN zone. New retail, office, commercial and mixed-use development, and major modifications (per RDC 8.3005-8.3010) within the MUN zone shall provide one or more of the Category A pedestrian amenities listed below and all of the Category B amenities, as generally illustrated in the figure below. Pedestrian amenities may be provided within a planting strip or street furnishing zone, building frontage zone or plaza, as shown in the figure below. Use of the public right-of-way requires approval by the roadway authority.

8 DEVELOPMENT
256
CHAPTER
REGULATIONS

CHAPTER 8 DEVELOPMENT REGULATIONS

Category A:

1. A plaza, courtyard, square or extra-wide sidewalk next to the building entrance (minimum width of 8 feet);

2. Sitting space (i.e., dining area, benches, garden wall or ledges between the building entrance and sidewalk) with a minimum of 16 inches in height and 30 inches in width;

3. Public art that incorporates seating (e.g., fountain, sculpture).

Category B:

1. Building canopy, awning, pergola, or similar weather protection (minimum projection of 4 feet over a sidewalk or other pedestrian space).

2 Street trees, as specified in RDC Section 8.3035(5)(k), in grates.

3. One trash receptacle per building, for buildings wider than 40 feet at street/sidewalk frontage.

4. One pedestrian scale light fixture per building.

5. Parking areas shall be located behind buildings, below buildings, or to the sides of buildings.

6. Neighborhood-scale signs, as specified in RDC 8.4110 and 8.4165.

8. Transportation System Analysis (TIA). The development must meet requirements per Section 8.2815 (Transportation System Analysis).

9. Access Management Standards. The development must meet requirements per Section 8.2820 Access Management Standards.

[Section 8.3035 amended by Ord. #2009-03 passed May 26, 2009]

[Section 8.3035 amended by Ord. #2009-14 passed December 8, 2009]

[Section 8.3035 amended by Ord. #2012-04 passed April 24, 2012]

[Section 8.3035 amended by Ord. #2013-04 passed May 14, 2013]

[Section 8.3035 amended by Ord. #2015-01 passed February 24, 2015]

[Section 8.3035 amended by Ord. #2016-17 passed January 31, 2017]

257
Figure for subsection 7.f.: Pedestrian Amenities for streetscape

[Section 8.3035 amended by Ord. #2017-12 passed December 12, 2017]

[Section 8.3035 amended by Ord. #2020-15 passed November 10, 2020]

[Section 8.3035 amended by Ord. #2022-04 passed June 28, 2022]

[Section 8.3035 amended by Ord. #2022-04 passed June 28, 2022]

[Section 8.3035 amended by Ord. #2022-09 passed December 13, 2022]

8.3040 Downtown Overlay District Design Review Criteria. In addition to the standards in Section 8.3035, prior to the issuance of a building permit, all properties, and structures in the Downtown Overlay District, unless exempt under Section 8.3040(2) below, shall comply with the Downtown Design Standards. If a conflict exists between the Sections 8.3035, 8.3040, and 8.3045, then Section 8.3040 shall take precedence.

1. Purpose. In an effort to enhance and improve downtown’s character, the quality of the pedestrian experience, and economic vitality, the City Council has adopted architectural design standards for the downtown core area.

The intent of the architectural design standards is to achieve the following:

A. Quality Economic Growth. Assure opportunities for a stable, vital, diverse, and competitive economy at the heart of the city.

B. Vibrant Downtown Strengthen downtown as a vibrant, mixed use district that draws a wide spectrum of residents and visitors.

C. Downtown Appearance. Improve and enhance the appearance of the built environment and natural features throughout Downtown, especially along primary commercial corridors, and other major arterials.

D. Historic Character. Preserve and retain historic structures and cultural resources throughout downtown.

E. Pedestrian Environment. Improve and enhance the pedestrian environment throughout downtown, as well as the pedestrian

2. Exempt Development. These Design Standards shall apply to any development in the Downtown Overlay District except for the following uses:

A. Minor Modifications.

B Landscaping or landscape alterations.

C. Repair or maintenance of public or private buildings, structures and landscaping that present a risk to public safety

D. Maintenance of the exterior of an existing structure such as re-roofing, or re-siding where similar materials and colors are used.

E. Interior remodeling

F. Temporary structures and uses which are for relief of victims of disaster or an emergency.

G. Single family detached dwellings and middle housing.

H Child Care facilities that operate in existing residential structures.

3. Non-exempt Development. Any development in the Downtown Overlay District that does not qualify as Exempt Development, including major modifications, shall meet the applicable design standards in Section 8.3040. If a conflict exists among Section 8.3040, Section 8.3035, and Section 8.3045, then Section 8.3040 shall apply.

4. Procedure. The Community Development Director, or designee, or Hearings Body, shall approve, approve with conditions, or deny an application based upon compliance with the design standards. Approval shall be obtained from the review authority prior to the issuance of a building permit for all non-exempt development. Per the Downtown Architectural Design Standards, applicants can choose two tracks of review:

258
CHAPTER 8 DEVELOPMENT REGULATIONS

A. Track 1 – Clear and Objective: Administrative Review of Compliance with Design Standards. Track 1 requires applicants to meet the downtown design standards, including the intent and approach of each standard as noted below. The design standards are quantifiable and can be administered as part of the plan-review process. These applications are reviewed administratively by City of Redmond Planning staff.

B. Track 2 - Discretionary: City Review of Compliance with Design Standards. Track 2 allows applicants to satisfy the intent of the design standards as determined by the Hearings Body. In Track 2, the intent statements serve as the criteria for determining if the “intent” of the downtown design standard is being met. In Track 2, applicants are required to identify how their proposed site and/or building meet the intent statements of the design standards, and why specific objective standards cannot be met.

5. Application Requirements. The applicant shall attend a pre-development meeting with City of Redmond Planning or Urban Renewal staff to determine if the proposed development is “exempt” or “non-exempt” from the Downtown Design Standards, and to determine, if possible, if the development should be processed as a Track 1 or Track 2 review. The application shall contain information specified in this Article of the Redmond Development Code, as well as sample paint colors.

6. Approval Process For each standard, there will be one or more approaches an applicant will need to follow to meet the design intent under Track 1. Within each approach, there may be a menu of elements or techniques that an applicant may employ. In many cases, the same elements and techniques are presented as a means to meet different standards. In the event that a specific element or technique is used to meet two standards, an applicant will be required to choose another element or technique to meet a third standard. In this way, applicants are required to make use of multiple elements or techniques thereby increasing the attractiveness of downtown.

For Track 1, Planning Staff shall use the downtown design standards, approaches, elements, and techniques to ensure compliance with the intent of downtown design standards. For Track 2 applications, the City of Redmond Hearings Body shall use the intent statements to ensure compliance with the downtown design standards

7. Downtown Design Standards. The downtown design standards establish a palette of objective, design-oriented elements that help ensure that proposed development, redevelopment, and modifications conserves and enhances desired scale and character of the downtown. They are intended to implement City’s goals and objectives in the Redmond Comprehensive Plan and Downtown Action Plan.

A. Standard: Cohesive Architectural Elements

Intent: Enhance the experience of passing motorists, pedestrians, and bicyclists by incorporating cohesive and repetitive architectural elements into the ground-floor design of street-facing façades (and alley-facing façades where feasible).

Approach 1: Divide the ground floor of commercial storefronts into distinct architectural bays that are no more than 30 feet on center. For the purpose of this standard, an architectural bay is defined as the zone between the outside edges of an engaged column, pilaster, post, or vertical wall area.

Approach 2: For each architectural bay, incorporate a minimum of three of the following elements/techniques:

CHAPTER 8 DEVELOPMENT REGULATIONS 259

CHAPTER 8 DEVELOPMENT REGULATIONS

Element/Technique:

• Building lighting (minimum of a pair)

• Suspended signs / blade signs

• Canopies or overhangs (5’-0” minimum, measured from either the face of the column or the street-facing elevation)

• Transom window

• Storefront frieze, horizontal sign band, or a belt course above the transom window or mezzanine level

• Window plant box (minimum of one per window)

• Projected windowsill (12” to 24” above grade)

• Architectural treatment (minimum of a pair)

Where feasible, building elevations that face an alley should be enhanced with a minimum of a doorway (with glass) and lighting.

B. Standard: Streetscape and Pedestrian Amenities

Intent: Ensure that Downtown development contributes to the creation of a cohesive, exciting, and vibrant street life. Create safe and friendly pedestrian zones, on private property, that promotes walking, shopping, and meeting with friends.

Approach: To reinforce the pedestrian realm and create spaces where people are encouraged to gather, implement one of the four space-making elements/techniques below.

Element/Technique:

• Courtyard: Incorporate a small courtyard into the design of street facing and/or alley-facing façades that includes transparent windows and/or doors, exterior lighting, and special paving.

Where possible, windows should be incorporated into all walls that face the courtyard. These windows should be large enough to encourage interaction between inside and outside. Other elements that should be considered in the design of courtyards are benches, planter boxes, trees, and bike racks.

• Recessed Entry: Create a small, covered transition zone between the sidewalk and the front door. Define this space with special lighting, paving, and storefront windows.

• Chamfer Entry: Create a gathering place at the corner of the building by chamfering the corner of the building (i.e., cutting the corner at a 45-degree angle for a minimum of 10’-0” on each side of the corner).

• Arcade: Set the front door to the building a minimum of 5’-0” (clear) behind an arcade that is located at the front property line or the adjusted property line.

Provide architectural and/or structural vertical columns at an interval that does not exceed 20’.

C. Standard: Human Scale

260

Intent: Design building façades to a “human scale” – with details, materials, and workmanship that is aesthetically appealing as well as comfortable for, and at the scale of, pedestrians.

The most successful ground floor street elevations exhibit a high degree of transparency and consist of a palette of well-designed elements that are scaled to the human body. To continue this tradition, applicants shall select elements for each of the horizontal building divisions that comprise the ground floor façade as described below.

Approach 1: The base of the ground floor façade extends from the top of the finished grade or sidewalk to the bottom of the windowsill. To continue this development pattern, select at least one of the following elements/techniques:

Element/Technique:

• Defined base of an engaged column or pier

• Projected windows sills (12-24” above grade)

Note: “Human Scale” in architecture considers how people interact with the built environment based upon their physical dimensions and capabilities. Besides anthropometric (human) measurements, human scale looks at the visual, acoustic, and spatial properties of a space and scales those properties to relate to the human form.

Note: The area below the projected windowsill is commonly referred to as a bulkhead, window base, or window panel. This zone is usually constructed of concrete, brick, stone, or wood and serves to anchor the façade to the ground floor plane. With the exception of the entry door, this base element usually extends the length of the elevation

Approach 2: Storefront windows typically frame the middle of the ground floor façade. To continue this development pattern, select at least one of the following elements/techniques:

Element/Technique:

• Medallion (minimum of a pair)

• Window plant box (minimum of one per window)

• Integrated horizontal and vertical window mullions

Approach 3: The top of the ground floor façade is the area between the storefront and the upper stories of the building. To continue this development pattern, select at least one of the following elements/techniques:

Element/Technique:

• A marquee or suspended sign / blade sign that extends (perpendicular) from the building façade (the bottom of the marquee or sign shall be 8-12 feet above grade) (See Section 8.4180(5))

• Sign frieze

• Storefront awning or canopy (the bottom of the awning or canopy shall be at least 8 feet above grade, and no higher than the 1st floor of the building or 15 feet above grade whichever is less. Minimum clearance below an awning

261
CHAPTER 8 DEVELOPMENT REGULATIONS

on which signage is hung or displayed is 8 feet from the sidewalk or ground level to the lowest portion of the awning or suspended sign whichever is lowest.)

• Storefront cornice / belt course

• Transom window(s)

D. Standard: Weather Protection

Intent: Protect pedestrians from sun, wind, and rain.

Approach: Provide weather protection along 50% of the ground floor façade (50% of the linear frontage abutting a right-of-way) by incorporating one of the following elements/techniques:

Element/Technique:

• Awnings (glass, metal, or fabric)

• Balconies

• Building overhangs (including recessed entries)

• Arcade

The depth of all canopies and awnings shall be a minimum of 5’-0”, measured from either the face of the column or the street facing elevation, unless limited by the building code Internal illumination (underlighting) is prohibited unless the awning is made of an opaque material.

Note: Arcades are strongly encouraged along full-block developments.

E. Standard: Pedestrian-Oriented Ground Floor

Intent: Design street and sidewalk-facing storefronts and entries to be inviting and easily accessible to passersby. Ensure that the ground floor promotes a sense of interaction between activities in the building and activities in the public realm.

Approach: Create a prominent entry and foster interaction between inside and outside by incorporating three or more of the following elements/techniques:

Element/Technique:

• Overhangs (canopies, awnings)

• Clerestory or transom window as part of the large storefront system

• Glass windows that flank the door

• Decorative lighting

• Large glass entry doors

• Creative signage

• Artwork

• Recessed entry bay

• Incorporating paving and color

The depth of all canopies and awnings shall be a minimum of 5’-0”, measured from either the face of the column or the street facing elevation.

Applicants are strongly encouraged to use earth tones or muted colors.

The use of mirrored or tinted glass is prohibited.

262
CHAPTER 8 DEVELOPMENT REGULATIONS

F. Standard: Tri-Partite Façades

Intent: To enhance the image of the downtown by creating an attractive and unified building façade that reflects and complements Redmond’s historic buildings and celebrates ground floor activities, the top of the building (where the edifice meets the sky), and everything in between. To ensure the design of a unified and cohesive building façade, applicants shall design building façades consisting of a clear and distinct base, middle, and top. This standard shall apply to buildings of all heights (or number of stories).

Approach 1: Base. The base of the building typically extends from the sidewalk to the bottom of the second story or the belt course / string course that separates the ground floor from the middle of the building. In order to enhance the character of the base of the building, applicants shall include in the design of the façade at least one of the following elements/techniques.

Element/Technique:

• Storefront windows

• Canopies or awnings (5’-0” minimum, measured from either the face of the column or the street facing elevation)

• Distinct architectural bays

• Entry overhang

• Large floor-to-floor heights

Approach 2: Middle Distinguish the middle of the building from the top and base of the building by incorporating one of the following elements:

Element/Technique:

• Change in color

• Balconies

• Change in windows

• Step backs

• Signage

• Horizontal band(s). Horizontal bands shall be a minimum of 8” high (the length of a standard brick) and can be formed by a change in material, a change in color, brick orientation, or, preferably, by projecting materials from the face of the building

Note: Where possible, windows should express the use inside the building. For example, second story residential windows are often times oriented vertically with a width to height relationship of 2:1.

Approach 3: Top. All building façades shall have a “cap” element at the uppermost portion of the façade that visually terminates the façade. To create visual interest at the top of the building, applicants shall incorporate one of the following three elements/techniques.

Element/Technique:

• Detailed cornice or projected parapet

• A roof form, other than a flat roof, that projects beyond the face of the building

CHAPTER 8 DEVELOPMENT REGULATIONS 263

CHAPTER 8 DEVELOPMENT REGULATIONS

• Roof top garden that consists of plant materials that are visible from the sidewalk and the street.

Note: Besides being attractive, the incorporation of a roof top garden has the added benefit of helping to manage storm water run-off that would otherwise go into the ground water.

G. Standard: Materials

Intent: Use building materials and construction practices that evoke a sense of permanence and are compatible with Redmond’s historic buildings.

Approach: Incorporate one of the following building materials, found on traditional commercial storefronts, into the design of the ground-floor (street facing) façades:

• Brick

• Metal

• Terra cotta

• Stone

• Concrete (and CMU)

• Stucco

• Horizontal wood or cementitious siding

• Wood shingles

• Board and batten vertical wood siding

• Ceramic detail

Prohibited Building Materials: The following materials are prohibited:

• T-11 or similar sheet materials

• Stucco clad foam (EIFS)

• Vinyl siding

• Log construction

• Mirrored or tinted windows (except for that which is required by code).

Note: Where possible, use materials indigenous to Central Oregon.

Note: Concrete and wood siding should be painted using a palette of earth tone or muted colors.

H. Standard: Reinforce the Corner

Intent: Create dynamic public gathering spaces where streets intersect. Enhance way-finding and the comprehension of Downtown by making recognizable and memorable design elements at the corner of each block

Approach: Choose one or more of the following elements/techniques to make intersections exciting places for people to gather.

Element/Technique:

• Locate the primary entry to the building at the corner of the building or within 25’ of the corner of the building.

• Incorporate prominent architectural elements, such as increased building height or massing, a cupola, a turret, or a pitched roof, at the corner of the building or within 25-feet of the corner of the building.

264

• Chamfer the corner of the building (i.e., cut the corner at a 45-degree angle and a minimum of 10’-0” from the corner of the property line) and incorporate a combination of special paving materials, street furnishings, and plantings.

Note: Where possible, incorporate double storefront doors that include large expanses of glass.

I. Standard: Color

Intent: Color a very important ingredient for enlivening and enhancing the built environment. A building’s color should accentuate and harmonize with its architecture, as well as complement surrounding structures.

Approach: The color of any structure shall comply with all of the following criteria:

• Be compatible with the existing built environment. A building’s color should not compete for attention with neighboring buildings.

• Limit the use of too many colors on a single building. Typically, three colors are sufficient to create a successful façade; richer or deeper hues should be used to accent door and window trim and other, small architectural details.

• On primary façades visible from public streets, use warm, more muted colors that have low reflectivity and complement the natural colors found in the surrounding landscape. Where possible, street-facing façades should consist of unadorned materials such as brick, stone, stucco, and wood shingles.

• Avoid the use of bright colors (such as primary or neon colors) that have intense and bright hues.

[Section 8.3040 amended by Ord. #2020-15 passed November 10, 2020]

[Section 8.3040 amended by Ord. #2022-04 passed June 28, 2022]

8.3045 C-2 Central Business District Commercial Design Review Criteria.

In addition to the standards in Section 8.3035, prior to the issuance of a building permit, all properties in this zoning district, except single use residential structures, shall comply with the standards in this section. If a conflict exists between the Sections 8.3035 and 8.3045, then Section 8.3045 shall take precedence.

1. Façade Treatment.

A. Minimum Wall Articulation.

1. Façades shall add architectural interest and variety and avoid the effect of a single, long, or massive wall with no relation to human size. No wall that faces a street or connecting walkway shall have a blank, uninterrupted length exceeding 30 feet without including, but not be limited to, at least two of the following:

a. Change in plane,

b. Change in texture or masonry pattern,

c. Windows, trellises with vines, or

d. An equivalent element that subdivides the wall into human scale proportions.

2. Façades greater than 100 feet in length, measured horizontally, shall incorporate wall plane projections or recesses having a depth of at least 3% of the length of

CHAPTER 8 DEVELOPMENT REGULATIONS 265

the façade and extending at least 20% of the length of the façade. No uninterrupted length of any façade shall exceed 100 horizontal feet.

3. Ground floor façades that face public streets shall have arcades, display windows, entry areas, awnings, or other such features along no less than 50% of their horizontal length.

4. Building façades must include a repeating pattern that includes any one of more of the following elements:

a. Color change;

b. Texture change;

c. Material module change.

5. Side or rear walls that face walkways may only include false windows and door openings defined by frames, sills and lintels, or similarly proportioned modulations of the wall, only when actual doors and windows are not feasible because of the nature of the use of the building.

2. Entryways. Commercial buildings shall have clearly defined, highly visible customer entrances including at least three of the following elements, listed below.

A. Recesses/projections;

B. Arcades;

C. Raised corniced parapets over the door;

D. Peaked roof forms;

E. Arches;

F. Outdoor patios;

G. Architectural details such as tile work and moldings which are integrated into the building structure and design;

H. Integral planters or wing walls that incorporate landscaped areas and/or places for sitting.

3. Reinforcing the Corner: For buildings located at the corner of intersections, one of the three treatments is required to emphasize the importance of this location in the district.

A. Locate the primary entry to the building at the corner of the building or within 25 feet of the corner of the building.

B. Incorporate prominent architectural elements, such as increased building height or massing, a cupola, a turret, or a pitched roof, at the corner of the building or within 25 feet of the corner of the building.

C. Chamfer the corner of the building (i.e., cut the corner at a 45-degree angle and a minimum of 10 feet from the sidewalk corner) and incorporate include extended weather protection (arcade or awning), special paving materials, street furnishings, or plantings in the cut.

4. Materials:

A. Incorporate one of the following building materials into the design of the ground floor (street-facing) façades: brick, metal, terra cotta, stone, concrete, stucco, horizontal wood or cementitious siding, wood shingles, board and batten vertical wood siding, ceramic detail.

B. Prohibited Materials: T-111 or similar sheet materials, stucco clad foam (EIFS), or common concrete masonry units (CMU).

C. All sides of the building shall include materials and design characteristics consistent with those on the front. Use of inferior or lesser quality materials for side or rear façades shall be prohibited.

D. Trellises, canopies, and fabric awnings may project up to five feet into front setbacks and public rights-of-way, provided that the base is not less than eight feet at the lowest point and no higher than ten feet above the sidewalk. Awnings shall be no longer than a single storefront unless multiple storefronts exist.

CHAPTER 8 DEVELOPMENT REGULATIONS 266

5. Roof Treatments.

A. All façades shall have a recognizable “top” consisting of, but not limited to:

1. Cornice treatments, other than just colored “stripes” or “bands,” with integrally textured materials such as stone or other masonry or differently colored materials; or

2. Sloping roof with overhangs and brackets; or

3. Stepped parapets; or

4. Special architectural features, such as bay windows, decorative roofs and entry features may project up to three feet into street rights-of-way, provided that they are at least nine feet above the sidewalk.

6. Streetscape standards. New commercial or mixed-use development and major modifications shall provide streetscape amenities, as generally illustrated in the figure below. Pedestrian amenities may be provided within a planting strip or street furnishing zone, building frontage zone or plaza, as shown in the figure below. Use of the public right-of-way requires approval by City of Redmond and must comply with the Redmond Downtown Right of Way (ROW) Standards and Specifications.

Amenities:

A. Building canopy, awning, pergola, or similar weather protection (minimum projection of 4 feet over a sidewalk or other pedestrian space).

B. Street trees, as specified in Redmond Downtown ROW standards.

C. Trash Receptacles for buildings wider than 40 feet at street/sidewalk frontage as per Redmond Downtown ROW standards.

D. Decorative pedestrian scale light fixtures as per Redmond Downtown ROW standards.

E. Parking areas shall be located behind buildings, to the sides of buildings or below buildings.

F. Pedestrian-scale signs, as specified in Article V. Sign Standards for properties in the C-2 Central Business District Commercial Sign Standards.

267
CHAPTER 8 DEVELOPMENT REGULATIONS
Figure; Pedestrian Amenities for streetscape

8.30410 Master Plans.

[Section 8.30410 deleted by Ord. #2009-04 passed April 28, 2009]

8.3050 Partial Master Development Plans. When the development proposed is for less than the entire site a partial master development plan may be required. In addition to providing all plans associated with Site and Design review, a partial master plan shall also clearly show the project area and shall clearly identify the timing of each specific phase within the master plan, if phases are proposed.

[Section 8.3050 added by Ord. #2009-04 passed April 28, 2009]

[Section 8.3050 amended by Ord. #2015-01 passed February 24, 2015]

[Section 8.3050 amended by Ord. #2020-15 passed November 10, 2020]

CHAPTER 8 DEVELOPMENT REGULATIONS 268

SITE AND DESIGN REVIEW FOR LIVE/WORK UNITS

8.3100 Site and Design Review for Live/ Work Units.

[Section 8.3100 added by Ord. #2011-09 passed November 8, 2011]

8.3110 Purpose and Intent. The Live/Work Unit is a new combined form of living unit which can provide the necessities and comforts of home and provide a venue for a source of income to promote the success of the owner. In order for these units to be approved as new or modified units, new construction must be well-designed, architecturally interesting, and made of quality products.

[Section 8.3110 added by Ord. #2011-09 passed November 8, 2011]

8.3120 Applicability of Site and Design Review and Modified Site and Design Review. Site and Design Review shall be required to establish any New Live/Work Unit.

1. Modified Site and Design Review shall be required for a Modified Live/Work Unit for any of the following:

A. The change of use or building addition to add a business component (more intensive than a home occupation) to a residential property.

B The change of use or building addition to add a residential use to a business property.

2. Exemptions from Site and Design review for Modified Live/Work Units may be allowed if the Community Development Director, or designee, determines with findings that the proposed development will have a negligible impact on the neighborhood.

[Section 8.3120 added by Ord. #2011-09 passed November 8, 2011]

8.3130 Zoning Applicability. Live/Work Units that comply with Section 8.0260 are a permitted use in the Mixed Use Live Work (MULW) zone

[Section 8.3130 added by Ord. #2011-09 passed November 8, 2011]

8.3140 Procedure. A Site and Design Review application for a Live/ Work Unit shall be submitted to and reviewed by the Community Development Director, or designee, as a Land Use action as described in RDC 8.1200. This application shall be processed administratively. The review of the application may be elevated to the Planning Commission for a public hearing at the discretion of the Community Development Director.

[Section 8.3140 added by Ord. #2011-09 passed November 8, 2011]

[Section 8.3140 amended by Ord. #2020-15 passed November 10, 2020]

8.3150 Site Improvement Agreement. Upon approval the applicant/owner, at the City’s discretion, shall enter into a Site Improvement Agreement, which states the applicant/owner shall abide by the decision and conditions of approval for the Live/Work Unit.

[Section 8.3150 added by Ord. #2011-09 passed November 8, 2011]

8.3160 Plans Required. The applicant shall submit to the Community Development Department the following documents with the required fee.

CHAPTER 8 DEVELOPMENT REGULATIONS 269

1. Exterior elevations. Drawings or sketches of elevations for all sides of the proposed building(s). Such plans shall indicate the building height, primary building materials, color, shape, architectural features, and other design features of the building, including the location of all exterior mechanical devices.

2. Site Plan. Site plans containing the following.

A. A drawing showing the floor plans for each building and a description of each internal “use.”

B. Location and use of all proposed and existing buildings, fences, and structures within the proposed development. Indicate which buildings are to remain and which are to be removed.

C. Location of all parking areas and dimensions of all parking spaces (existing and proposed).

D. Location and size of all existing & proposed public utilities serving the subject property including water lines, sewer lines, storm drains, power poles and lines, telephone poles and lines, and existing fire hydrants.

E. Location of existing drainage on-site, canals and laterals.

F Location of all utility and access easements on the property.

G. Locations of all existing natural features including, but not limited to, any existing trees having a six (6) inch trunk diameter or greater, three (3) feet above grade, and any significant natural features including (but not limited to) outcroppings of rocks, boulders, etc. Indicate any contemplated changes that would affect a natural feature.

H Photograph of building(s) and site.

3. Landscape Plan. A landscape plan is required for live/work development. The landscape plan shall include the following:

A. Area Required. 10% of subject property

B Plant types. Identify the varieties (botanical name) of each plant.

C Plant size at time of planting. The minimum size at time of planting shall be one gallon for a shrub and fifteen gallons for a tree, and no less than 1-1/2" caliper measured 3' above finished grade.

D. Location of existing trees. All trees having a six inch trunk diameter measured 3' above natural grade or greater shall be shown on the landscape plan.

E. Location of vegetation. Location of existing vegetation to be removed and retained on site.

F. The location and design of new landscaping or landscaped areas.

G. Irrigation. Description of the method of irrigation shall be submitted showing type of irrigation system and approximate location of water delivery lines.

H. Street tree plan. Species and location of each tree to be planted shall be shown on the landscape plan.

4. Lighting Plan A lighting plan showing the type, placement, wattage, and method of shielding all exterior lights from adjacent sites shall be submitted.

[Section 8.3160 added by Ord. #2011-09 passed November 8, 2011]

8.3170 Site and Design Review Criteria. Prior to issuance of a building permit, the following applicable criteria shall be met.

1. Dimensional Standards for New Live/Work Units.

A. Minimum Work Space. Each New Live/Work Unit shall have a minimum work space of 200 square feet.

CHAPTER 8 DEVELOPMENT REGULATIONS 270

B. Minimum Living Area. Each New Live /Work Unit shall have a minimum living area of 600 square feet.

2. Outside Requirements.

A. Parking. Each live/work unit shall have one (1) off-street parking space for each dwelling unit and one (1) off-street parking space for the first 1,000 square feet of non-residential floor area. Additional off-street parking spaces for non-residential floor area over and above the first 1,000 square feet shall be provided pursuant to Section 8.0500 through 8.0515 (Off-Street Parking and Loading Requirements). The applicant may propose approved materials for parking that are porous and yet strong enough to support vehicles. The Community Development Director, or designee, shall be the final authority for acceptable alternatives to pavement.

B. Exterior Mechanical Equipment. Exterior mechanical equipment shall be screened so as not to be visible from public streets.

C. Installation of Utilities. All new utility service lines serving the site shall be placed underground, unless otherwise approved by the Community Development Director.

D. Landscaping. The site shall be landscaped with a variety of trees, shrubs, and groundcover. The required landscaping shall be 10% of the lot area.

E. Irrigation of landscaping Irrigation systems shall be required for all landscaping areas and street trees, except for native vegetation.

F. Grading and Drainage All site drainage shall be maintained on site and shall not drain onto public streets, irrigation canals/ditches or neighboring properties

G. Outdoor Storage. All outdoor storage shall be screened to a minimum of 6 feet in height by a vegetative hedge, solid fencing, or on-site buildings

H. Fencing. Fencing standards for residential zones described in 8 0340 shall apply to Live/Work Units.

I. Trash Collection. Trash collection areas in which 1 yard or larger containers are located shall be screened from public view or in a trash enclosure. Trash enclosures shall be constructed of materials similar and matching to the subject building.

J. Lighting. Artificial Lighting shall not shine off-site greater than 0.5-foot candles.

3. Architectural Requirements for New Construction. New Live/Work Unit shall comply with the following standards.

A. Architectural Consistency. Each New Live/Work Unit shall have consistent architectural elements present on all of the facades

B. Flat, Unbroken Walls. Single, long, or unbroken flat walls shall be avoided. Each New Live/Work Unit shall have a change of plane and change of material on the main facades (street visible) of the building.

C. Recessions and Projections. Each unit shall have architectural recessions and projections not less than 2 inches in change.

D Transparency (windows or glass block-type elements). Each unit shall have a minimum of 25% transparency of the total square footage of the street-facing façade on the first floor of the business portion of the unit

E. Change in texture or masonry pattern. Two or more finishing products or masonry patterns on the elevations of each unit is required.

F. Building Entrance. Each unit must have a primary ground floor entrance on the street-facing façade with associated pedestrian access to the public right of way.

G. Prohibited Materials. The New Live/Work Unit shall not use the following building products, T-111, Exterior Insulation and Finishing System (EIFS), continuous corrugated metal (30 gauge or lighter). Use of metal cargo shipping containers for residential use is prohibited.

4. Additional Architectural Requirements. Each of the New Live/Work Unit shall have a minimum of 2 of the following:

CHAPTER 8 DEVELOPMENT REGULATIONS 271

A. Change in color.

B. Canopies or overhangs (with a minimum projection depth of 2 feet).

C. Display windows (projected or recessed).

D. Roof Treatments.

E. Outside patio or seating area.

F. Other elements of architectural interest. The applicant may propose an unlisted type of architectural feature or elements as permitted by the Community Development Director.

5. Modifications to Existing Structures. To convert an existing structure to a Live/Work Unit, the following applicable criteria shall be met.

A. Dimensional Standards for the Modified Live/Work Unit.

1. Minimum Work Space. Each Live/Work Unit shall have a minimum work space of 200 square feet.

2. Minimum Living Area. Each Live /Work Unit shall have a minimum living area of 600 square feet.

B. Outside Requirements.

1. Parking. Each live/work unit shall have one (1) off-street parking space for each dwelling unit and one (1) off-street parking space for the first 1,000 square feet of non-residential floor area. Additional off-street parking spaces for non-residential floor area over and above the first 1,000 square feet shall be provided pursuant to Section 8.0500 through 8.0515 (Off-Street Parking and Loading Requirements). The applicant may propose approved materials for parking that are porous and yet strong enough to support vehicles. The Community Development Director, or designee, shall be the final authority for acceptable alternatives to pavement.

2. Exterior Mechanical Equipment. Exterior mechanical equipment shall be screened so as not to be visible from public streets.

3 Landscaping. The site shall be landscaped with a variety of trees, shrubs, and groundcover. The required landscaping shall be 10% of the lot area Site Landscaping shall be well-maintained, living, and watered. Dead vegetation shall be removed and replanted with new vegetation.

4. Outdoor Storage. All outdoor storage shall be screened to a minimum of 6 feet in height by a vegetative hedge, solid fencing, or on-site buildings.

5. Fencing. Fencing standards for residential zones described in 8.0340 shall apply to Live/Work Units.

6. Trash Collection. Trash collection areas in which 1 yard or larger containers are located shall be screened or in a trash enclosure. Trash enclosures shall be constructed of materials similar and matching to the subject building.

7. Lighting. Artificial Lighting shall not shine off-site greater than 0.5-foot candles.

C. Architectural Requirements for the Modified Live/Work Unit.

1. Architectural Consistency. Each Modified Live/Work Unit shall have consistent architectural elements present on each of the facades.

2. Exterior Walls. Any exterior wall or surface area that has more than thirtythree percent (33%) of its total area bare, peeling, flaking, pitted, corroded, or otherwise deteriorated, as determined by the Community Development Director, or designee, shall be surface coated in its entirety.

3. Other Exterior Surfaces. All deteriorated or decayed doors, porches, floors, steps, walkways, driveways, railings, decks, or parts of features thereof, shall be repaired or replaced.

8 DEVELOPMENT REGULATIONS 272
CHAPTER

4. Window and Sills. All damaged or broken windows, and deteriorated or decayed sill, sash, molding, lintel, frame, or trim thereof shall be repaired or replaced.

5. Roofs. The roof of the Modified Live/Work Unit shall be weather-tight and free of debris, including moss and mildew. All missing shingles, or other roofing materials shall be replaced with materials of similar kind, nature, design, and color as the original thereof.

6. Gutters and/or downspouts. A Modified Live/ Work Unit having gutters and/or downspouts in place shall have such gutters and downspouts properly mounted to such structure and be in good working condition.

7. Chimney. A chimney, if present, shall be structurally sound and in good repair, free of loose, missing, or deteriorated mortar and bricks, or other chimney building materials. Any such loose, missing, or deteriorated mortar or bricks shall be refitted, replaced, or repaired.

8. Prohibited Materials. The Modified Live/Work Unit shall not use the following building products, T-111 (unless matching existing materials), Exterior Insulation and Finishing System (EIFS), continuous corrugated metal (30 gauge or lighter). Use of metal cargo shipping containers for residential use is prohibited.

D Architectural Requirements. Each Modified Live/Work Unit shall have a minimum of 3 of the following:

1. Change in color.

2. Canopies, awnings, or overhangs (with a minimum projection depth of 2 feet).

3 Display windows (projected or recessed).

4. Roof treatments.

5. Outside patio or seating area.

6. Decorative window trim.

7. Other elements of architectural interest The applicant may propose an unlisted type of architectural feature or elements as permitted by the Community Development Director.

6. Detached Accessory Live/Work Buildings. A Live/Work Unit may have a separate accessory detached building in which work may be conducted as a function of the Live/Work Unit. The following standards shall apply to new and modified Accessory Buildings.

A. Minimum Size. The detached accessory building shall be a minimum of 200 square feet in size.

B. Setbacks. The detached accessory building shall be setback a minimum of 5 feet from any property line.

C. Building Height. The detached accessory building shall be no taller than the height of the primary building.

D. Architectural Requirements for Detached Accessory Buildings. The detached accessory buildings shall comply with the following:

1. Architectural Consistency. Each detached unit shall have consistent architectural elements present on each of the facades and shall be similar to the primary unit.

2. Flat, Unbroken Walls. Single, long, or unbroken flat walls shall be avoided. Each detached unit shall have a change of plane and change of material on the main facades (street visible) of the building.

3. Change in texture or masonry pattern. Two or more finishing products or masonry patterns on the elevations of each detached unit is required.

CHAPTER 8 DEVELOPMENT REGULATIONS 273

4. Prohibited Materials. The Detached Accessory Live/Work building shall not use the following building products, T-111, Exterior Insulation and Finishing System (EIFS), continuous corrugated metal (30 gauge or lighter). Use of metal cargo shipping containers for residential use is prohibited.

E. Additional Architectural Requirements for Detached Accessory Buildings. Each of the new units shall have a minimum of 2 of the following:

1. Change in color.

2. Canopies or overhangs (with a minimum projection depth of 2 feet).

3. Display windows (projected or recessed).

4. Roof Treatments.

5. Other elements of architectural interest. The applicant may propose an unlisted type of architectural feature or elements as permitted by the Community Development Director.

7. Limiting Factors. The following is required for all types of Live/Work Units. The limiting factors listed below shall be applicable as conditions of approval to guarantee reasonability of working in conjunction with residential living. These restrictions include the following:

A. Noise Levels. The work use shall not generate noise exceeding 75 decibels as measured at the lot line of the lot containing the live/work dwelling from 6 a.m. to 9 p.m. Likewise, work use shall not generate noise exceeding 55 decibels as measured at the lot line of the lot containing the live/work dwelling from 9 p.m. to 6 a.m.

B. Odors. No noxious odors shall be evident off the premises.

[Section 8.3170 added by Ord #2011-09 passed November 8, 2011]

274
CHAPTER 8 DEVELOPMENT REGULATIONS
DecibelReferenceChart: Sounds dB SPL Rocket Launching 180 Jet Engine 140 Thunderclap, Air Raid Siren 1 Meter 130 Jet Takeoff (200 ft) 120 Rock Concert, Discotheque 110 Firecrackers, Subway Train 100 Heavy Truck (15 Meter), City Traffic 90 Alarm Clock (1 Meter), Hair Dryer 80 Noisy Restaurant, Business Office 70 Air Conditioning Unit, Conversational Speech 60 Light Traffic (50 Meter), Average Home 50 Living Room, Quiet Office 40 Library, Soft Whisper (5 Meter) 30 Broadcasting Studio, Rustling Leaves 20

8.3180 Enforcement.

1. It shall be the duty of the Community Development Director, or designated representative to administer and enforce the provisions of these standards in such a way as to carry out its intent and purpose.

2. Violation of any provisions of these standards is a Class A Civil Infraction and/or a Class A administrative infraction and shall be enforced through the procedures established in sections 2.750 to 2.799.

3. Each day that a nuisance continues to exist constitutes a separate violation, and a separate penalty may be assessed for each day the violation continues.

4. Violation of these standards is hereby declared a nuisance and may be subject to abatement, removal or other remedy provided in the City of Redmond nuisance code under Section 5.345.

5. When any real property is or is proposed to be used, transferred, sold or disposed of in violation of these standards, the Community Development Director, designee, or any person whose interest in the property is or may be affected by the violation, in addition to other remedies provided by law, may institute injunction, mandamus, abatement or other appropriate proceedings to prevent, temporarily or permanently enjoin, abate or set aside such use, transfer, sale, disposition, offer, negotiation or agreement.

6. If any section, subsection, sentence, clause, or phrase of these standards is for any reason held to be invalid or unconstitutional by any court of competent jurisdiction, such decision shall not affect the validity of the remaining portions of these standards.

[Section 8.3180 added by Ord. #2013-06 passed April 9, 2013]

[Section 8.3180 amended by Ord. #2014-05 passed April 8, 2014]

CHAPTER 8 DEVELOPMENT REGULATIONS 275

ARTICLE V. - SIGN STANDARDS INTRODUCTORY PROVISIONS

8.4000 Title. These standards shall be known as the City of Redmond Sign Standards and may be so cited and plead.

8.4005 Purpose.

1. The purpose of these standards is to provide reasonable and necessary regulations for the erection and maintenance of signs in order to:

A. Protect the health, safety, property, and welfare of the public.

B. Promote a neat, clean, orderly, and attractive appearance within the city.

C. Improve the effectiveness of signs in identifying and advertising businesses and facilities.

D. Eliminate signs that demand, rather than invite public attention.

E. Provide for reasonable, orderly, and effective display of outdoor advertising compatible with their surroundings.

F. Preserve, protect, and enhance the economic, scenic, historic, and aesthetic values and objectives of the City and its citizens.

G. Provide effective signing to meet the anticipated differing needs of various areas in the City.

H. Preserve and enhance the unique urban aesthetic of the downtown through use of appropriate signage, oriented to and inviting pedestrian activity and enticing economic vitality into the district while ensuring the effectiveness of public streets and safe traffic flows in the Downtown Overlay District.

8.4010 Terminology. The word "City" shall mean the City of Redmond, Oregon. The words "City Council" shall mean the City Council of Redmond, Oregon. The words "Manager", "Planning Director" and "Building Official" shall mean the Manager, Planning Director and Building Official respectively of the City of Redmond The words "Planning Commission" shall mean the Redmond Urban Area Planning Commission.

8.4015 General Definitions. For the purposes of this article, words used in the present tense include the future, the singular includes the plural, the word "shall" is mandatory and the word "building" includes structures other than sign structures.

8.4020 Specific Definitions. The following words and phrases used in this article have the meanings given to them in this section.

Animation Any form of movement by electric, mechanical or kinetic means including but not limited to, rotation, revolving or wind activation of all or a portion of sign, or incorporating flashing or intermittent light for sign illumination.

Arterial. A restricted access street of substantial continuity which is primarily a traffic artery for inter-communication and so designated by the City of Redmond.

Awning. A structure made of cloth, metal or similar material with metal frames attached to a building, projecting over a thoroughfare or entrance.

Balloon. A bag made of thin rubber or other light material, usually brightly colored, inflated with air or with some lighter-than-air gas causing it to rise and float in the atmosphere.

Banner. Flexible sign characteristically hung on a building, or otherwise suspended down or along its face or suspended by a free standing support structure. The banner may include text or other

CHAPTER 8 DEVELOPMENT REGULATIONS 276

graphic symbols. Banners do not include feather banners, feather flags, wave banners or other similar signs.

Banner, Sponsored. A banner that is provided by a business not specifically located on the site in which the banner is displayed. A logo or advertisement for the sponsoring business may encompass no more than twenty percent (20%) of the area of the banner. Any logo or advertisement for an off-premise business that exceeds this amount shall be considered an offpremise sign which is prohibited.

Bench Sign. Any sign painted on or otherwise attached to a bench or other seat placed in a public right-of-way or meant to be seen by the public.

Billboard. A sign structure subject to the provisions of the Oregon Motorist Information Act of 1971 and erected for the purpose of leasing advertising space to promote an interest other than that of an individual, business, product, or service available on the premise the billboard is located on, or a sign for which compensation or anything of value is given or received for the right to place the sign on another’s property.

Billboard – Electronic. A billboard which is internally illuminated to project a message capable of being changed through the programming of an electronic screen or LED display.

Billboard – Trivision. A sign that contains display surfaces composed of a series of three-sided rotating slats arranged side by side, that are rotated by an electromechanical process and capable of displaying multiple separate and distinct messages, one message at a time.

Business. All of the activities carried on by the same legal entity on the same premises and shall include but not be limited to, service, commercial and industrial uses and fraternal, benevolent, education, government, and social organizations.

Business Complex. One property ownership with the property owner and one or more business tenants as occupants or two or more business tenants as occupants of the property. In a business complex, business tenants include retail shops, executive or administrative services including medicinal clinics and accessory pharmacies, professional offices, and personal service establishments which perform personal services on the premises and similar uses.

Business Façade. The exterior face of a building space occupied by a specific tenant.

Canopy. A permanent roofed structure which may be free- standing or partially attached to a building for a purpose of providing shelter to patrons in automobiles, and patrons on foot, but shall not mean a completely enclosed structure.

Charitable Event. A fund-raising activity that supports a public or nonprofit organization; also, a private initiative to raise support for an individual, group or cause that does not directly generate income for the business conducting the fund-raiser.

Clear Vision Area. A triangular area, two sides of which are measured from the corner intersection of the street curb or location where street curb would be located if the right-of-way were developed to full City standards (ignoring any corner radius) for a distance of twenty-five (25) feet. The third side is a line across the corner of the lot adjoining the non-intersecting ends of the other two sides.

Community Event. A festival, meeting, performance, open market or other gathering open to the general public that is public in nature and not hosted by an individual business.

Cutout. A display in the form of letter, figures, characters, or other representations in cutout or irregular form attached to or superimposed upon an advertising sign.

Display Surface. The area made available by the sign structure for the purpose of displaying a message thereon.

Eave. Lowest horizontal line of any roof.

Erect. To construct, paint, place, affix or otherwise bring into being.

Facade. Any face of a building.

Flag. A sign made of fabric or other similar non-rigid material supported or anchored along one edge or two corners. If any side is more than three times as long as any other side the flag becomes a banner.

CHAPTER 8 DEVELOPMENT REGULATIONS 277

Flag – Commercial. A flag with contains the name or logo of an establishment or advertising copy.

Flag – Feather (also includes sail flag, feather banner, wave banner and similarly constructed devices). A lightweight, portable advertising medium made of fabric or other similar non-rigid material mounted on a pole or mast that is generally oriented in a vertical manner, resembles a sail and is intended to be wind activated.

Frontage, Building. That facade of a building which faces and is parallel to, or most nearly parallel to the public street which provides the primary direct vehicular access to the building.

Frontage, Street. A lot line fronting a public street. Unless the premises has only one such frontage, the width along such lot line must be at least 50 feet to qualify as a "frontage".

Incombustible Material. A Material that will not ignite at or below a temperature of 1200 degrees Fahrenheit during an exposure of five minutes and which will not continue to burn or glow at that temperature. The test for an "incombustible material" shall be conducted as specified in the Uniform Building Code.

Kiosk. A small, free-standing structure which may have one or more surfaces used to display advertising or to identify or index a business or businesses.

Maintain. To allow to exist or continue.

Marquee. A permanent roofed structure attached to or supported by a building but does not mean a "canopy" as defined herein.

Non-structural Trim. A molding, batten, cap, nailing strip or stringer, lattice, cutout, letter, or walkway attached to a sign structure.

Parapet. A low wall or railing used to protect the edge of a roof, also called a parapet wall

Pennant – A long, tapering flag that is generally longer than it is wide, used either alone or in an interconnected series of two or more

Pergola. A structure usually consisting of parallel colonnades supporting an open roof of girder and cross rafters, also known as an arbor, trellis or ramada.

Person. An individual, corporation, partnership, association, joint venture, or other legal entity.

Promotional Event. An activity conducted by a business for a limited time that is intended to highlight specific goods and/or services offered by the business.

Roof Line. The line which marks the highest point of the vertical front of a building in the case of a false front, or the line where the roof is joined to the vertical front wall of the building in other cases. Shopping Center A premises planned and developed as a unit with an undivided, nonsegregated parking area and is advertised as a center or mall and has multiple occupancy by business.

Sign A sign is any object or device, or part thereof, situated outdoors or indoors which is used to advertise or identify an object, person, institution, organization, business, product, service, event, or location by means including pictures, colors, motion illumination or projected images. Signs do not include the following:

1 Flags of nations, or an organization of nations, states and cities, fraternal, religious, and civic organizations.

2 Merchandise, pictures or models or products or services in a window display.

3. Time and temperature devices not related to a product.

4. National, state, religious, fraternal, professional, and civic symbols, or crests.

5. Works of art which in no way identify a product.

Sign – Awning or Canopy. A sign located on or attached to an awning or canopy.

Sign – Cabinet. A sign that contains all the text and/or logo symbols within a single enclosed cabinet and may or may not be illuminated.

Sign – Daily Display Sign. A non-permanent sign normally associated with business activity which is placed out-of-doors during business hours for display and returned indoors during offhours. Daily display signs may be constructed in a sandwich board (A-Frame) style, mounted on a single pedestal, or other similar construction, and are unlit.

CHAPTER 8 DEVELOPMENT REGULATIONS 278

Sign – Directory. A sign giving the name, address number or location of the occupants of a building or buildings.

Sign – Directional. An on-premise sign designed to be read by a person already on the premises and used only to identify and locate an office, entrance, exit, motor vehicle route, telephone or similar place, service, or route.

Sign – Free-standing. A sign supported by one or more uprights or braces and not attached or incidentally attached to any building or structure but does not include ground mounted signs.

Sign – Ground mounted or monument. A sign which is not attached to any structure, or building, and has a support which places the bottom thereof less than four (4) feet from the ground.

Sign – Internally Illuminated. A sign which is wholly or partially illuminated by an internal light source from which source light passes through the display surface to the exterior of the sign; such a sign is commonly referred to as a “cabinet” sign. This does not include pan channel lettering signs.

Sign – Mobile Sign. Any sign which is mounted or designed for mounting on wheels, or which is mounted or designed for mounting on self-propelled or towed vehicle, and the primary purpose of which is advertising.

Sign – Motor Vehicle Directional. A sign identifying motor vehicle entrances or exits to or from the premises on which the sign is located.

Sign – Non-conforming. A sign erected prior to the adoption of these standards which does not conform to the provisions contained herein.

Sign – Outdoor Advertising. A sign which advertises goods, products or services which are not sold, manufactured, or distributed on or from the premises or facilities on which the sign is located.

Sign – Pan Channel. An individual letter of a sign constructed so that the sides and back of the letter are one unit.

Sign – Parapet or Pergola Any sign or other commercial graphic attached to a parapet, ramada, pergola or other similar structure.

Sign – Portable. Any sign or other graphic which is designed to be or is capable of being transported from one place to another

Sign – Projecting or blade. A sign which extends perpendicular or nearly perpendicular from the building face to which it is attached

Sign – Reader Board. Signs whose alphabetic, pictographic, or symbolic informational content can be changed or altered on a fixed display screen composed of electronically illuminated segments. A time and/or temperature sign shall not be considered a reader board

Sign – Reverse Pan Channel. An individual letter of a sign constructed of an opaque material so that the sides and front of the letter are one unit

Sign – Roof Sign. A sign located on or above the roof of any building, not including a false mansard roof or other fascia.

Sign – Temporary Sign. A banner, pennant, poster, or advertising display constructed of cloth, canvas, plastic, sheet, cardboard, wall board, sheet metal, plywood or similar materials and intended to be displayed for a limited period of time.

Sign – Wall Sign. A sign painted or otherwise affixed to the face of a building, marquee, or roof overhang parallel to such face and extending not more than 18 inches therefrom.

Tenant. Entity with the right to temporarily possess another’s property in exchange for rent under a lease or similar arrangement.

Uniform Building Code. The State of Oregon Structural Specialty Code and Fire and Life Safety Code of 1979 Edition (Uniform Building Code) published by the International Conference of Building Officials, as adopted by the City of Redmond and which is referred to as "UBC" in these standards.

Zone. A zoning district established pursuant to the City of Redmond Zoning Standards.

[Section 8.4020 amended by Ord. #2008-23 passed December 9, 2008]

CHAPTER 8 DEVELOPMENT REGULATIONS 279

CHAPTER 8 DEVELOPMENT REGULATIONS

[Section 8.4020 amended by Ord. #2013-05 passed April 9, 2013]

[Section 8.4020 amended by Ord. #2017-08 passed July 25, 2017]

280

GENERAL PROVISIONS AND PROCEDURES

8.4050 General Provisions.

1. It is unlawful for any person to erect, repair, alter or relocate or maintain within this City, any sign or other graphic except as provided in these standards.

2. No sign shall be attached to or placed against a building or other structure in such a manner as to prevent or inhibit ingress or egress through any door or window required or designated for access to any building, not shall any sign obstruct or be attached to a fire escape.

3. No sign or other street graphic other than a City or other public agency sign shall be allowed to be erected, installed, replaced, or maintained in, over or on any public property, including parkways, except as provided in Section 8.4220 of these standards.

4. Any sign or other street graphic which is supported by more than one means and therefore cannot be clearly defined as a ground, marquee, wall, roof, projecting, or other sign shall be administratively assigned to the sign category most logically applicable and the appropriate standards applied.

5. Signing shall be in proportion with and visually related to the architectural character of the building, restrained in the size and be in conformance with generally accepted principles of good design and architecture.

6. Signing adjacent to, or in a residential area shall be harmonious with and reflect the residential character of the area.

7. Signing for a business within a commercial or industrial center, shall be in harmony with the signing of the entire complex. The signing for any new or remodeled commercial or industrial center shall be approved concurrent with the architectural review of the project in the form of a signing program.

8. These standards outline maximum requirements; however, signs must be appropriate to the nature of the activity to which they pertain and compatible with their surroundings.

9. The Downtown Overlay District signage standards shall apply to all properties within the Downtown Overlay District boundaries. In that district, where a conflict exists between the Downtown Overlay District signage standards and other signage standards in this Code, the Downtown Overlay District signage standards shall be applied.

[Section 8.4050 amended by Ord. #2016-17 passed January 31, 2017]

8.4055 Sign Permit. Except as provided in Section 8.4070 of these standards, no sign shall be erected, structurally altered, or relocated until a sign permit has been issued.

8.4060 Procedure.

1. Applications for a sign permit shall include a scale drawing of the sign including dimensions, height and materials and showing its relationship to the ground or to any building or structure to which the sign is proposed to be installed or affixed. When appropriate, a plot plan drawn to scale shall be submitted which indicates the location of proposed signing relative to street and property lines. Prior to the issuance of a sign permit, the Building Official may review the construction aspects of the proposed sign. The City Manager, or designee, may require other pertinent information where in their opinion, such information is necessary to determine compliance with the provisions of these standards.

CHAPTER 8 DEVELOPMENT REGULATIONS 281

2. The City Manager, or designee, shall issue a permit for a sign covered by applications duly made unless the sign is in violation of the provisions of these standards. Sign permits mistakenly issued in violation of these standards are void.

3. The City Manager, or designee, may revoke a sign permit if he or she finds that there was a material and misleading false statement fact in the application for the permit.

4. A sign permit shall be null and void if work for which the permit was issued has not been completed within a period of six (6) months of the date of issuance of the permit.

5. Where an electrical permit for a sign installation is required, it shall be obtained from the Oregon State Department of Commerce, Building Codes Division, prior to making the final electrical connection from the sign to the electrical power source.

[Section 8.4060 amended by Ord. #2008-23 passed December 9, 2008]

[Section 8.4060 amended by Ord. #2016-17 passed January 31, 2017]

8.4065 Sign Measurement.

1. The following criteria shall be used in measuring a sign to determine compliance with these standards:

A. Area or Area of Sign. Area, or area of a sign, is the area within any perimeter which encloses the limits of any writing, representation, emblem, figure, or character. The area of a sign having no such perimeter or the area of a sign having an irregular shape shall be computed by computing the surface area of a known geometric shape or shapes which most closely resemble the area of the subject sign The area of all signs in existence at the time of the enactment of these standards, whether conforming or nonconforming, shall be counted in establishing the permitted sign area of all new signs to be allowed for an individual business or a premises. Where a sign is of a three dimensional or round or irregular solid shape, the largest cross section shall be used as though it were a flat surface to determine sign area.

B. Clearance. Clearance of a sign is measured from the average grade at the base of the sign to the lowest point of the sign.

C. Height. Height is measured from the grade of the curb line closest to the base of the sign to the highest point of the sign. In the absence of a curb line, the edge of the street pavement shall be used.

2. Area of building facade. When the area of the building facade is used to determine sign area, that area shall be computed by multiplying the width of the building frontage or portion thereof by the height of the building or portion thereof which are devoted to the particular business (the business façade). "False fronts" and mansard roofs may be included when calculating the area of the building façade

3. Daily display signs shall not be counted in the calculations for measuring allowed sign area.

[Section 8.4065 amended by Ord. #2008-23 passed December 9, 2008]

[Section 8.4065 amended by Ord. #2017-08 passed July 25, 2017]

8.4070 Permit Exceptions. The following signs or procedures shall not require a sign permit. Provided, however, these signs shall be subject to the provisions of Section 8.4110 excepting subsection (10).

1. Exempt signs listed in Section 8.4100.

2. The changing of advertising or message on an approved painted or printed sign or sign specifically designed for the use of replaceable copy.

CHAPTER 8 DEVELOPMENT REGULATIONS 282

3 The painting, repainting, cleaning, and normal maintenance, and repair of an existing sign unless a substantial structural change is made.

4. Daily display signs and banners erected during street closures associated with construction. This exemption is only for the duration of the street closure.

[Section 8.4070 amended by Ord. #2013-05 passed April 9, 2013]

[Section 8.4070 amended by Ord. #2015-02 passed March 10, 2015]

8.4080 Material. In the Downtown Overlay District, signs shall be constructed of at least one of the following types of material (all other types of material are prohibited).

1. Copper, brass, textured aluminum, or other natural look finishes.

2. Wrought iron.

3. Decorative scrolling.

4. Natural wood.

5. Neon or LED tubing for lettering or graphics.

6. Plastic elements with applied techniques for natural look finishes.

7. Dimensional letters mounted onto façade with no frame (raceway mounting is required to match the building’s color).

CHAPTER 8 DEVELOPMENT REGULATIONS 283

EXEMPT, TEMPORARY AND PROHIBITED SIGNS

8.4100 Exempt Signs. The following signs are exempt from this ordinance.

1. Safety signs, trespassing signs, memorial plaques, and historical markers.

2. Except as provided for in Section 8.4105, signs of a noncommercial nature. Provided, however, the permitted area for said signs shall be subject to the area and location requirements of the pertinent zone in which they are located.

3. Signs determined to have historical value as determined in accordance with Section 8.4600 of these standards.

4. Kiosk on public property or as approved otherwise by the Site and Design Commission.

5. Non-illuminated directional and motor vehicle directional signs painted on paving or otherwise limited to a maximum dimension of four feet and a sign area of eight feet.

6. Small signs not exceeding three square feet in area, attached flat against a building, non-illuminated and announcing only the name and occupation of the building tenant.

7. Interior, non-illuminated signs designed primarily to be viewed from a sidewalk or street when maintained inside a building, including but not limited to, signs attached to or painted on the inside of a window provided, however, the permitted area for such signs shall be limited to 25% of the window area.

8. Signs or coin operated vending machines, gasoline pumps, and telephone booths and not exceeding the dimensions of said machines.

9. In commercial, professional, or industrial areas, signs not exceeding one square foot bearing only the street address.

10. Traffic or other municipal signs, legal notices, railroad crossing signs and danger signs. The City may also post off-premise directional signs for restaurants, hotels (motels), and automobile service stations in commercial zones and for businesses in the Airport Industrial Area.

11. Churches, schools, and other public facilities in any zone may have an on site sign for each building or activity facility not exceeding 24 square feet.

12. Graphics that do not advertise any business, commercial product, or service

13. Neighborhood Watch Signs located on private property in residential zones - size, quantity, and location to be regulated by the City Police Dept.

14. Off premise commercial advertising signs located within recreational athletic fields, parks arenas, and other public property operated by public or non-profit civic organizations; provided however, that the signs face inward toward the respective athletic fields and do not extend above any of the perimeter fences. These signs shall be non-illuminated and shall not have any flashing or animated components

15. Any sign placed during an emergency operation as declared by the City Manager, or designee, or by any city, state or federal law enforcement or public safety official. Such signage shall be specifically for the direction and management of emergency personnel, victim’s assistance, and/or directions for the general public.

16. Signage on properties zoned Airport. Signage review and approval shall be governed by the Airport Director, or designee.

[Section 8.4100 amended by Ord. #2016-17 passed January 31, 2017]

8.4105 Temporary Signs. The following signs are allowed according to the terms specified herein.

1. Construction signs which identify the architects, engineers, contractors and other individuals or firms involved with the construction or renovation of a building. Said signs

CHAPTER 8 DEVELOPMENT REGULATIONS 284

shall be located on the site of construction, shall not exceed thirty-two square feet in area and shall be removed within fourteen days of the beginning of the intended use of the project.

2. Real estate firm or owner erected signs advertising the sale, rental or lease of the premises or part of the premises on which the signs are displayed up to a total area of thirty-two square feet, except for such signs in a residential zone which shall not exceed a total of six square feet. Such signs shall not be located in such a manner as to cause a public safety hazard and shall be removed within fourteen days of the sale, rental, or lease.

3. Off premise real estate signs not visible from a State highway for the purpose of directing the public to the sale of multiple residential properties only with written permission of the property owner and limited to:

A. A maximum of 5 total off premise signs.

B. Private property only.

C. 8 square feet in an area except for one of the 5 permitted signs may be allowed up to 16 square feet if on an arterial road.

D. A 3-year limit with a possible 2 year extension.

4. Signs identifying or advertising a non-profit civic, charitable, or benevolent event. Said signs shall be removed within seven days after the event.

5. Street banners advertising a public entertainment or event. Such banners and their location shall be approved by the City Manager or designate. Street banners may be displayed for fourteen days before and seven days after the event

6. Land development project signs pertaining to the sale, lease, rent or development of a subdivision, office complex, shopping center, industrial park or similar parcel are allowed for a period of 3 years with a possible 2-year extension upon issuance of a permit by the Planning Director. Size of signs shall be controlled by the following schedule:

7. Pennants, balloons, and streamers shall only be allowed when associated with a promotional event of a business The size of balloons used in this context shall be limited to two (2) feet wide in any direction.

8. Banners shall be approved by the Community Development Director, or designee, through the temporary sign permit process and shall be in compliance with the following standards:

A. A business may display a banner or banners no more than 60 days total in a calendar year. A business may divide these 60 days into any combination of 30 or 15-day permits but in no case may the total number of days in which banners are displayed on a property exceed 60 days in a calendar year. Banners displayed for a charitable event shall not count toward these limitations

B. The number of banners displayed at one time shall be limited to one banner per public entrance into the business or one banner per building façade facing a public street or parking lot, whichever is greater.

C. For banners attached to the façade of a building, the total size of all banners on a building façade shall be limited as follows based on the width of the façade on which the banner(s) will be attached:

CHAPTER 8 DEVELOPMENT REGULATIONS 285
Project Size Total Number of Signs Maximum Area Per Sign 4 acres or less 1 32 sq ft over 4 acres 1 96 sq ft

D. In addition to the above, one banner no larger than 32 square feet may be placed elsewhere on the property. Such banner shall be located entirely on private property, shall not compromise any clear vision areas, and shall be securely attached at both ends.

E. Banners shall be secured at all four corners and shall contain no tears, tattered edges, stains, or other signs of wear

F. Banners on businesses located in the Downtown Overlay District shall also comply with banner standards listed in Section 8.4180.

G. Exceptions. The following shall be exempt from the restrictions listed above:

1. Banners providing off-site advertising for a community event.

2. Banners used as permanent signage that are approved through the regular sign review process.

3. A business may apply for a temporary sign permit to utilize banners as its primary signage for the first 60 days of operation. The total area for these banners may exceed the maximum limits indicated above as long as the total signage on each building facade is within the signage area that would generally be allowed for permanent signage. Such banners approved as primary signage shall not count toward the 60-day maximum for a promotional event in a calendar year.

9. Feather flags shall be approved by the Community Development Director, or designee, through the temporary sign permit process and shall be in compliance with the following standards:

A. A business may display two feather flags no more than 60 days total in a calendar year. A business may divide these 60 days into any combination of 30 or 15-day permits but in no case may the total number of days in which feather flags are displayed on a property exceed 60 days in a calendar year.

B Feather flags shall be located entirely on private property and shall not compromise any clear vision areas.

C Feather flags shall contain no tears, tattered edges, stains, or other signs of wear.

D. Feather flags shall conform to all applicable building code requirements and shall be affixed to the ground or a permanent structure in a secure manner per the manufacturer’s specifications, so as to not pose a hazard. Prior to issuance of a sign permit, the applicant shall demonstrate how it will comply with the manufacturer’s specifications for proper anchoring of the flag to the ground.

10. Portable reader boards only when associated with a promotional event of a business may be displayed for a maximum of thirty days in any calendar year.

11. Christmas or seasonal decorations as customarily used.

12. Garage sale signs posted on private property, limited in size to eight square feet and removed within three days after the end of the sale.

13. Temporary political campaign signs that pertain to a certain election date shall be removed within ten days after the election to which the signs pertain.

14. Signs advertising a non-profit commercial fund-raising event. Said signs shall be limited to a maximum area of 32 square feet and a maximum time limit of (four) 4 days. Off-premise

CHAPTER 8 DEVELOPMENT REGULATIONS 286 Width of Façade Maximum Square Feet Less than 50 ft 32 sq ft 50-100 ft 64 sq ft 100-200 ft 96 sq ft over 200 ft 128 sq ft

signs are authorized only with written permission of the property owner. These signs are exempt from other sections of the sign code provisions.

15. Off premise directional signage for industrial businesses demonstrating a hardship. The Planning Commission shall determine if a hardship condition exists based on whether the site exhibits special conditions that are peculiar to the property and are not common to others in the area. The off premise signage shall be limited to arterial roads and shall be permitted by the Commission for one year with two (2) six-month administrative extensions possible.

16. No temporary sign, other than a sign installed by a public agency or advertising a community event shall be allowed in or over the public right-of-way or attached to any public property, including street trees, light poles, and other utilities and/or structures.

[Section 8.4105 amended by Ord. #2013-05 passed April 9, 2013]

[Section 8.4105 amended by Ord. #2016-17 passed January 31, 2017]

8.4110 Prohibited Signs. The following signs are prohibited:

1. Signs that use valances, propellers, wind activated, or attention attracting devices. These devices when not part of any sign, but on the premises where a sign is utilized, are similarly prohibited unless they are permitted specifically by other legislation.

2. Signs that contain, include, or are illuminated by any flashing, intermittent revolving, rotating or moving lights. This does not apply to signs utilized by the City of Redmond or Oregon Department of Transportation.

3. Signs that move or have any animated moving parts.

4. That the City Manager, or designee, determine to violate ORS 483.138, which applies to signs creating confusion with or interfering with the effectiveness of traffic signs or signals

5. That are placed on, affixed to, or painted on a motor vehicle or trailer and placed on public or private property for the primary purpose of providing a sign not otherwise permitted by these standards Signs on vehicles used in the normal course of business shall not be subject to this provision.

6. Portable signs not supported by a sign structure in the ground, nor attached to or erected against a building or structure, and is capable of being moved about the premises except as may be specifically permitted by the terms of these standards.

7. Bench signs.

8. Signs or sign structures that create a hazard by obstructing clear view of pedestrian and vehicular traffic

9. Any small sign, generally of a temporary nature, and generally known as a "snipe sign" tacked, nailed, posted, pasted, glued, or otherwise attached to trees, poles, stakes, fences or buildings or other structures, where the information appearing thereon is not applicable to the present use of the premises upon which sign is located.

10. Are not otherwise in conformance with the provisions of these standards.

11. Parapet or pergola signs.

12. In addition to the above prohibited signs, the following signs are prohibited in the Downtown Overlay District:

A. Pole signs.

B. Particle Board signs.

C. Internally illuminated wall-mounted cabinet signs.

D. Any sign or combination of signs that blocks more than 10 percent of window panel whether inside or outside.

12. The following signs are prohibited in the MUN and MUE zones:

CHAPTER 8 DEVELOPMENT REGULATIONS 287

CHAPTER 8 DEVELOPMENT REGULATIONS

A. Pole-mounted freestanding signs.

B. Back lit plastic wall signs (back lit plastic monument signs are allowed).

C. Internally illuminated wall signs.

D. Signs on roofs, chimneys, and balconies.

E. Billboards.

F. Sodium or mercury vapor lamps.

G. Flashing, blinking, moving, or mobile signs.

H. Banners, except for temporary displays for public events.

[Section 8.4110 amended by Ord. #2009-03 passed May 26, 2009]

[Section 8.4110 amended by Ord. #2015-02 passed March 10, 2015]

288

SIGNS PERMITTED BY ZONES

8.4150 Signs Permitted in the Open Space Park Reserve (OSPR) Zone. No signs shall be permitted in this zone except as provided in this section:

1. Sign Type and Area. One wall or ground mounted sign shall be permitted, not to exceed thirty-two square feet in area and ten feet in height.

2. Context. Signs in these zones shall be identity signs only, containing information directly pertaining to the permitted use.

3. Location. Signs shall be erected no closer than five feet from a street right-of-way, shall be a minimum of twenty-five feet from an adjacent lot and shall be placed on the property upon which the use is located.

4. Illumination. No sign permitted in this section shall be internally illuminated.

5. Directional signs subject to the provisions of Section 8.4235.

8.4155 Signs in Residential Zones. No signs shall be permitted in any residential zones except as provided in this section.

1. Multiple Family Dwellings. For multiple family dwellings, one sign not to exceed thirty-two square feet in area shall be permitted per project. Such signs shall be a wall or ground mounted type.

2. Subdivisions, P.U.D.'s and Mobile Home Parks. For subdivisions, P.U.D.'s and mobile home parks, one ground mounted sign not to exceed thirty-two square feet in area shall be permitted.

3. Commercial Uses. A commercial use, in a residential zone may have one wall or ground-mounted sign not to exceed thirty-two square feet in area and may have a building directory sign provided in the area of such sign does not exceed one square foot per occupant of the building

4. Illumination. No sign in a residential zone shall be internally illuminated.

5. Directional signs subject to the provisions of Section 8.4235.

6. Awnings and canopies subject to the provisions of Section 8.4225.

8.4160 Signs Permitted in General Commercial Zones. Except as provided for in Section 8.4170, this section shall apply to all signs in the Strip-Service Commercial C-1 zone, Central Business District Commercial C-2 zone, Special Service Commercial C-3 zone, Limited-Service Commercial C-4 Zone and Tourist Commercial C-5 Zone. No signs shall be permitted in these zones except as provided in this section. Where a conflict exists between the Downtown Overlay District signage standards and other signage standards in this Code in the Downtown Overlay District, the Downtown Overlay District signage standards shall be applied.

1. Wall Signs. The maximum sign area permitted per building façade shall be one and a half (1.5) square feet per one linear foot of business façade width, or six (6) percent of the square footage of that business façade, whichever is greater. Wall signage is allowed on a maximum of two facades. Refer to Section 8.4200 for wall sign placement locations. Wall signage for a third façade may be allowed at the discretion of the Community Development Director, or designee.

2. Roof Sign. In lieu of a wall sign under (1) above, a roof sign is subject to the provisions of Section 8.4205.

CHAPTER 8 DEVELOPMENT REGULATIONS 289

3. Free-standing and ground mounted signs. In addition to the requirements of (1) above, one free-standing or ground mounted sign shall be permitted subject to the requirements of Sections 8.4210 and 8.4215 respectively.

4. Directional signs subject to the provisions of Section 8.4235.

5. Awnings, canopy, and marquee signs subject to the provisions of Sections 8.4225 and 8.4230 respectively.

6. Alley Sign. Any alley sign limited to a wall sign of six square feet in area used to identify a business. Such sign shall be located at each entrance and shall not be located on the same fascia as any other sign except another alley sign.

7. Building directory signs limited to three square feet per occupant.

8. Motor vehicle service or drive-up window signs limited to one ground mounted sign not to exceed 32 square feet and one additional drive-up window sign not to exceed 16 square feet.

9. Billboards allowed under Section 8.4245 shall be permitted in the C-1, C-3, and C-5 Zones subject to the provisions of Section 8.4240-8.4245.

10. A business complex or shopping center may have one ground mounted sign or freestanding sign for each street frontage subject to the provisions of Section 8.4210 and 8.4215 respectively. Such signs shall be used to identify the name of the complex or center and may also be used to identify the individual businesses that are located within the complex or center. Each separate building within the complex or shopping center may have one monument sign identifying the businesses located within that building subject to the provisions of Section 8.4215 respectively.

11. A business or building abutting a public right of way such as a sidewalk shall be permitted one projecting sign in addition to a wall sign subject to the requirements of Section 8.4220.

12. Daily Display Signs allowed under Section 8.4250 shall be permitted in non-residential zones subject to the provisions of Section 8.4250

[Section 8.4160 amended by Ord. #2008-23 passed December 9, 2008]

[Section 8.4160 amended by Ord. #2017-08 passed July 25, 2017]

8.4165 Signs Permitted in the MUN and MUE Zones. This section shall apply to all signs in the MUN and MUE Zones. No sign shall be permitted in this zone except as provided in this section.

Each building may install a total of two (2) signs on each fronting street from the following types: window, wall, and awning. The total sign area for two signs shall not exceed the maximum permitted area as stipulated in this section.

In addition, the following are permitted:

A. One projecting or blade sign per building street façade.

1. One entry sign per service entry, maximum of 2.5 square feet in area,

2. One directional sign per parking entry, maximum 2.5 square feet, facing rear or side parking lot.

B. One monument or ground- sign at the public right-of-way entries to the zone.

290
CHAPTER 8 DEVELOPMENT REGULATIONS

1 Window Signs (Figure 1)

a Maximum sign size shall be 4 square feet.

b. Signs shall be silk screened, applied die or laser cut metal, wood or polymer, acid etched, or hand painted or of some other similar structure.

2. Wall Signs. (Figure 2)

a.

Maximum sign size shall be 5% of ground floor façade or 26 square feet, whichever is less.

b. Maximum sign heigh shall be 18 feet above the sidewalk or other finish grade.

c. Applied die or laser cut metal, wood, or polymer or of some other similar construction lettering may be substituted for wall signs, limited to 24 square feet of letter area.

3. Awning and Canopy Signs (Figure 3)

a. Maximum sign area shall be 12 feet on the main awning face and 5 square feet on the awning valance.

b. Lettering may not dominate sloped or curved portions. Lettering and signboard may be integrated alone the valance or fascia. Freestanding letters may be mounted on top of and extend about the fascia

8 DEVELOPMENT REGULATIONS 291
CHAPTER
Figure 1. Window Sign Figure 2. Wall Sign

4. Projecting or Blade Signs (Figure 4)

a. Maximum sign area shall be 6.5 square feet.

b. Distance from the lower edge of the signboard to the ground shall be a minimum of 7 feet.

c. For single-story buildings, top signboard edge shall be no higher than the wall from which it projects.

d. For the multistory building, top signboard edge shall be no higher than the sill or bottom of the average second story window height.

e. Distance from the building wall to signboard shall be a maximum of 8 inches.

f. Maximum signboard width shall not exceed the width of the sidewalk.

Source: LCA Architects and City of Oakridge

5. Monument or Ground Mounted Signs (Figure 5) One freestanding sign shall be permitted at public right-of-way entries (major collector or minor arterial)

a. Maximum sign area shall be 24 square feet.

b. Maximum lettering and other graphic height shall be 4 inches

c. Maximum signboard height at top edge or any supporting or decorative element shall be 4 feet. The maximum signboard width shall be 5 feet

d. Sign shall not interfere with pedestrian or vehicular circulation or interfere with clear vision requirements.

CHAPTER 8 DEVELOPMENT REGULATIONS 292
Figure 3. Awning and Canopy Sign Figure 4. Projecting or Blade Sign

Figure 5. Monument or Ground-Mounted Sign

Source: LCA Architects and City of Oakridge

6. Sign Lighting.

a. When illuminated, signs shall be front, back (rear) top or bottom illuminated with single or multiple sources.

b. Sodium or mercury vapor lamps are prohibited.

c. All signage lighting shall be controlled by photocell, time clock, and/or paging system, or manually.

d. Exterior lighting shall be selected and installed to prevent excessive or intrusive illumination of, on, or over adjacent buildings, lots, public streets and/or site areas outside the source building or lot.

7. The following signs shall always be permitted.

a. Temporary cultural and public service window posters, when posted inside businesses, shall be permitted.

b. Temporary promotional or special window signs posted inside businesses shall be permitted

[Section 8.4165 added by Ord. #2009-03 passed May 26, 2009]

8.4170 Signs Permitted in the Mixed Use Live/Work (MULW) zone. This section shall apply to all signs in the Mixed Use Live/Work (MULW) zone. No signs shall be permitted in this zone except as provided in this section. Where conflicts may exist in sign regulations, these standards take precedence over other sign regulations.

1 Wall sign.

A. Wall Sign Area The maximum sign area permitted shall be one and a half (1.5) square feet per one linear foot of business façade width Wall signage is allowed on a maximum of two building facades. Refer to Section 8.4200 for wall-sign placement locations. Wall signage for a third façade may be allowed at the discretion of the Community Development Director, or designee

B A combination of a Wall sign, Awning/Canopy sign, and a Blade/Projecting sign is allowed, but sign area encompasses all signs on a single façade.

C. Mounted flush against the façade and not extending beyond the building face.

2. Awning or Canopy Sign.

A Canopy or awning signs are included as part of the allowed wall sign area calculation

B. One awning sign per frontage per occupancy is permitted.

C. Minimum clearance below a sign is 8 feet from the sidewalk or ground level.

D. Canopy or Awning Signs may not project more than three feet above or below the canopy or awning.

E. Posts or columns beyond the property line will not be permitted

3. Blade/Projecting Sign.

CHAPTER 8 DEVELOPMENT REGULATIONS 293

A. The maximum size of a projecting sign shall be eight square feet

B Blade/Project Signs are included as part of the allowed wall sign area calculation

C. Only one face of a double-faced projecting sign bearing identical copy shall be used in computing the area thereof.

D. Must project more than 12 inches from building face, but not beyond the outside edge of the sidewalk or right of way.

E. Must be at a minimum of 8 feet above the sidewalk or ground level.

4. Ground Mounted or Monument Sign.

A. Shall not exceed 30 square feet in area and not more than 6 feet high. A base not to exceed 2 feet in height is allowed. Sign calculation is only based on the sign area.

B. Not within 10 feet of any other sign.

C. Must have a setback of 5 feet from right of way.

D. Outside of the clear vision area.

5. Business Complex Sign.

A. A business complex may have one ground mounted sign for each street frontage of the complex subject to the provisions of the Ground Mounted or Monument Sign Section. Such signs shall be used to identify the name of the complex or center and may also be used to identify the individual businesses that are located within the complex or center Each separate building within the complex may have one monument sign identifying the businesses located within that building subject to the provisions of the Ground Mounted or Monument Sign Section.

B. Outside of the clear vision area.

6 Directional Signs.

A. On premise directional signs designed to be read by a person on the premises on which the sign is located and used to identify or locate an entrance, exit or drive-up window are limited to four square feet in area and four feet in height. If the sign is on the wall of the building, it shall be limited to four square feet in area and eight feet in height.

7. Temporary Signs. Temporary Signs pursuant to Section 8.4105, except portable reader boards shall not be allowed.

8. Daily Display Signs. Daily Display Signs are allowed pursuant to Section 8.4250.

[Section 8.4170 added by Ord. #2011-09 passed November 8, 2011]

[Section 8.4170 amended by Ord. #2017-08 passed July 25, 2017]

8.4171 Material. In the Mixed Use Live/Work (MULW) zone, all signs, except awning or canopy signs, shall be constructed of at least one of the following types of material (all other types of material are prohibited)

1. Copper, brass, textured aluminum, or other natural look finishes

2. Wrought iron.

3. Decorative scrolling.

4. Natural wood, excluding plywood.

5. Neon or LED tubing for lettering or graphics.

6. Plastic manufactured signs.

[Section 8.4171 added by Ord. #2011-09 passed November 8, 2011]

8.4175 Signs Permitted in Industrial, Public Facility, and Fairground Zones. This section shall apply to all signs in the Light Industrial M-1 Zone and Heavy Industrial M-2, Public Facility

8 DEVELOPMENT REGULATIONS 294
CHAPTER

PF, and Fairground Zone. No signs shall be permitted in these zones except as provided in this section

1. Wall sign. For each permitted or conditional use in the above listed zones, the maximum permitted sign area on a building shall not exceed ten percent of the area of the building facade on which the sign is placed. Provided, however, in no case shall the maximum permitted area exceed 350 square feet and in no case shall more than two (2) wall signs be permitted for wall signage.

2. Ground mounted signs. In addition to the provisions of (1) above, one ground mounted sign shall be permitted for each street frontage which provides direct vehicular access into the site, subject to the requirements of Section 8.4215.

3. Free-standing signs. In lieu of ground mounted signs as permitted in subsection two above, an industrial property may have one free-standing sign based on meeting the following criteria: (Amended 3/22/94, Ord. 94-06)

A. Category 1 Signs.

1. Such signs may contain one square foot of sign area for each two lineal feet of street frontage which abuts the project for the first 100 feet, plus one-half square foot of sign area for each two lineal feet of street frontage which abuts the project over 100 feet, not to exceed a maximum area of 150 square feet.

2. The sign shall be located adjacent to the street frontage providing direct vehicular access into the project.

3. The maximum height shall not exceed twenty-five feet. (a-c Added 3/22/94, Ord. 94-06)

B. Category 2 Signs

1. The Category 2 regulations apply only if the proposal meets all of the following criteria:

a. The use is not related to the general traveling public and is primarily an industrial or manufacturing use.

b. With the exception of wall and Directional Signs subject to the provisions of Section 4.045 and 4.090, no other type of sign is permitted on the property

c. The property is a minimum of 8 acres in size

d. The sign is spaced at least 600 feet from an existing free-standing sign greater than 25' in height.

e. The sign is not located in the City of Redmond's Airport Control (AC) overlay zone

2. Such signs may contain one square foot of sign area for each two lineal feet of street frontage which abuts the project for the first 100 feet, plus one-half square foot of sign area for each two lineal feet of street frontage which abuts the project over 100 feet, not to exceed a maximum area of 250 square feet.

3. The sign shall be located adjacent to the street frontage providing direct vehicular access into the project.

4. The maximum permitted sign height may be fifty feet. (a-d Added 3/22/94, Ord. 94-06)

4. Directional signs subject to the provisions of Section 8.4235.

5. Building directory sign limited to three square feet per occupant.

6. Billboards allowed under Section 8.4245 shall be permitted in the M-1 Zone and M-2 Zones.

CHAPTER 8 DEVELOPMENT REGULATIONS 295

7. Industrial Business Complex. An industrial business complex may have one ground mounted sign or free-standing sign for each street frontage subject to the provisions of Sections 8.4210 and 8.4215 respectively. Such signs shall be used to identify the name of the complex and may also be used to identify the individual businesses that are located within the complex. Each separate building within the complex may have one monument sign identifying the businesses located within that building subject to the provisions of Section 8.4215 respectively.

[Section 8.4175 amended by Ord. #2008-23 passed December 9, 2008]

[Section 8.4175 amended by Ord. #2016-17 passed January 31, 2017]

8.4180 Signs Permitted in the Downtown Overlay District. This section shall apply to all signs in the Downtown Overlay District. No signs shall be permitted in this Overlay District except as provided in this section.

1. Wall sign. Wall signs shall comply with the following standards.

A. One wall sign per business façade is allowed.

B. A combination of wall sign and one other sign type is allowed but sign area encompasses all signs on single facade (not including temporary banner or portable signs).

C. No wall sign shall extend above the roofline or the top of a parapet wall.

D. Mounted flush against the façade and not extending beyond the building face.

2. Awning or Canopy Sign

A. May not be located higher than first floor of a building or 15 feet above the sidewalk whichever is less

B. Minimum clearance below an awning on which signage is hung or displayed is 8ft from the sidewalk or ground level to the lowest portion of the awning or suspended sign whichever is lowest

C. 1 awning sign per frontage per occupancy is permitted

D. Sign area is included in the total calculated sign area allowed per façade.

3. Ground Mounted or Monument Sign

A. Shall not exceed 20 square feet in area and not more than 5 feet high. A base not to exceed 2 feet in height is allowed. Sign calculation is only based on the sign area.

B. Not within 10 feet of any other sign

C. Outside of the clear vision area

D. No more than one monument/ground mounted sign per street frontage

E. One illuminated or cabinet sign is allowed subject to the following standards:

1 Shall include a dark background. White or light colored backgrounds are prohibited.

2 Complies with Section 8.4080 Material standards.

3. Only one ground mounted illuminated cabinet sign is allowed on a property.

4. Banner, Permanent

A. Hung vertically with permanent attachments.

B. Must have a matte finish.

C. Must be in a permanent frame.

5. Blade/Projecting Sign

A. Affixed to the face of the building and project in a perpendicular manner.

B. Must project more than 12 inches from building face, but not beyond the outside edge of the sidewalk.

C. Area calculated in overall wall signage for façade.

CHAPTER 8 DEVELOPMENT REGULATIONS 296

CHAPTER 8 DEVELOPMENT REGULATIONS

D. Permanently attached at top with the bottom of the sign allowed to swing freely

E. Shall not obscure neighboring signs

F. Must be at a minimum of 8 feet above the sidewalk.

6. Temporary Signs pursuant to Section 8.4105, except portable reader boards shall not be allowed.

7. Daily Display Signs are allowed pursuant to Section 8.4250.

[Section 8.4180 amended by Ord. #2015-02 passed March 10, 2015]

[Section 8.4180 amended by Ord. #2017-08 passed July 25, 2017]

297

SIGNS REGULATED BY CLASS

8.4200 Wall Signs. Unless otherwise specified in these standards, the following criteria shall be applicable for attached wall signs:

1. Wall signs shall not project more than eighteen inches from the wall to which they are attached. A wall sign located on an alley frontage may not project into the alley below a clearance of fourteen feet, six inches.

2. Wall signs shall not project more than three feet above the eave line or roof line.

3. Wall signs attached to the end of the face of a marquee shall not exceed a height of thirty inches. The lower edge of such sign shall not extend below the marquee.

4. A wall sign shall not project beyond the ends of the wall to which it is attached.

5. Wall signs shall be located on the business façade which is used to determine the allowed sign area for that facade.

6. In the Downtown Overlay District, wall signs shall comply with Section 8.4180 (1) of this code.

7. As a component of wall signs, flags, permanent banners, and feather flags shall be permitted as follows:

A. Flags. Flags of nations, or an organization of nations, states and cities, fraternal, religious, and civic organizations are not considered signs and are exempt from the standards below. Commercial flags are permitted as long as they are in compliance with the following standards:

1. The size of each commercial flag shall not be limited, but the total square footage for the flag(s) shall be calculated as part of the overall allotment allowed for wall signs for the property.

2. The flag shall be mounted to a flagpole or to the primary building on the site.

3. The height of the pole shall not exceed 25 feet.

4. Flags may be displayed continuously throughout the year.

5. Up to three separate flags are permitted on one property.

6. The edge of the flag shall not extend beyond the property line into the public right-of-way. No flag shall project or extend into any clear vision area.

7. A building permit for the flagpole may be necessary subject to the provision of Sections 8.4300 through 8.4345 of this Chapter.

B. Permanent Banners. Banners that are displayed permanently shall be allowed signs as long as they are in compliance with the following standards:

1 There shall be no limit on the size of the permanent banner, but the square footage of the banners shall be subtracted out of the wall sign size allotment for the building.

2. There shall be no limit to the number of days a business may display a banner or banners total in a calendar year, but banners shall be changed out a minimum of every thirty (30) days with banners advertising a different message or shall have a thirty (30) day separation between display times if a business wants to continue to re-use the same banner.

3. The number of banners displayed at one time shall be limited to one banner per street frontage.

4. Banners shall be securely anchored on all four sides to a permanent structure.

5. Banners on businesses located in the Downtown Overlay District shall also comply with banner standards listed in Section 8.4180.

[Section 8.4200 amended by Ord. #2013-05 passed April 9, 2013]

CHAPTER 8 DEVELOPMENT REGULATIONS 298

[Section 8.4200 amended by Ord. #2017-08 passed July 25, 2017]

8.4205 Roof Signs. In lieu of a wall sign, one roof sign shall be permitted for a single story, flat roofed building provided that it extends no more than six feet above the roof line or twenty-five feet above the curb line. A roof sign may not exceed fifty square feet in area. The supporting members of roof signs shall appear to be free of any extra bracing, angle iron, guy wires, etc. All supports shall appear to be an architectural and integral part of the building.

8.4210 Free-Standing Signs. Unless otherwise specified in these standards, the following criteria shall be applicable for all free-standing signs.

1. Free-standing signs may not exceed twenty-five feet in height. Such signs may contain one square foot of sign area for each two lineal feet of street frontage which abuts the project for the first 100 feet, plus one-half square foot of sign area for each two lineal feet of street frontage which abuts the project over 100 feet, not to exceed a maximum area of 150 square feet.

2. Free-standing signs shall not be located in side yard, common to another lot or within a rear yard. A free-standing sign may extend to the street right-of-way within a front yard subject to a minimum clearance of eight feet. In the case of a double frontage lot where the building abuts two parallel streets, one free-standing sign may be located on each frontage.

3. No free-standing sign shall project or extend into any clear vision area. One of two sign poles supporting a free- standing sign may be located within a clear vision area if they are necessary for the support of the sign, provided they do not exceed a combined total width of twelve inches and provided no other portion of the sign is located within the clear vision area beneath eight feet in height.

8.4215 Ground Mounted or Monument Signs. The following criteria shall be applicable for a ground mounted sign.

1. A ground mounted sign shall not be located within ten feet of any other sign, within any street right-of-way, or within any clear vision area.

2. No more than one ground mounted sign shall be permitted for each street frontage. Unless otherwise specified in these standards, ground mounted signs shall have maximum overall dimensions and area not exceeding any of the following:

A. A maximum height of ten feet.

B. A maximum width of twelve feet.

C. Seventy-five square feet of area.

3. In the Downtown Overlay District, ground mounted, or monument signs, shall comply with Section 8.4180 (3) of this code.

8.4220 Blade/Projecting Signs. The following criteria shall be applicable for a projecting sign. Projecting signs shall be allowed according to the following provisions:

1. The maximum size of a projecting sign shall be eight square feet. The square footage must be deducted from the allowable wall sign area of the building from which the projecting sign will be attached.

2. Only one face of a double-faced projecting sign with parallel and bearing identical copy shall be used in computing the area thereof.

CHAPTER 8 DEVELOPMENT REGULATIONS 299

3. Projecting signs must clear sidewalks by at least eight feet, including any supports, and may project from the face of the building no more than three feet or one-third the width of the sidewalk, whichever is less.

4. Such signs may be internally illuminated.

5. The edge of such signs cannot be directly attached to the building exclusive of a suitable mounting device.

6. Such signs for all ground floor activities or the overall name of the business complex may not extend above the second story.

7. Projecting signs for businesses in the second story of a building are allowed only if the businesses have a separate street or public parking lot entrance and may be placed at the entrance only.

8. In the Downtown Overlay District, blade/projecting signs shall comply with Section 8.4180 (5) of this code.

8.4225 Awnings and Canopy Signs. The following shall be applicable for signs on awnings and canopies:

1. Canopy or Awning Signs may be placed on the front or sides if a canopy or awning, including placement along the top or bottom of the canopy or awning front so long as the sign does not project more than three feet above or below the canopy or awning and is consistent with 8 4225(5).

2. No advertising shall be placed on an awning or canopy, except the name or logo or the owner, business or industry conducted within the premises, address of the building or the building name.

3 Canopy or awning signs are included as part of the allowed wall sign area.

4. Posts or columns beyond the property line will not be permitted.

5. The lowest point of the awning or canopy must be at least eight feet above the sidewalk and fourteen feet, six inches above vehicle accesses

6. In the Downtown Overlay District, awning or canopy signs shall comply with Section 8.4180 (2) of this code.

8.4230 Marquee Signs. The following criteria shall be applicable for signs under marquees:

1. Signs may be located under a marquee if a vertical clearance of eight feet is maintained between the bottom of the sign and the grade below

2. Vertical height of signs shall not exceed eighteen inches and shall not exceed a sign area of eight square feet.

3. The horizontal clearance between a marquee and the curb line shall not be less than three feet.

8.4235 Directional Signs.

1. On premise directional signs designed to be read by a person on the premises on which the sign is located and used to identify or locate an entrance, exit or drive-up window are limited to four square feet in area and four feet in height. If the sign is on the wall of the building, it shall be limited to four square feet in area and eight feet in height.

2. On arterial roads where the posted speed limit is greater than 50 miles per hour, one directional sign shall be permitted per street frontage, limited to 16 square feet in area.

CHAPTER 8 DEVELOPMENT REGULATIONS 300

8.4240 Billboards. The following criteria shall be applicable for all the billboards allowed in the City of Redmond under Section 8.4245.

1. No billboard shall be erected within 500 feet of another billboard on the same side of the roadway. The distance between billboards shall be measured along the center line of the road.

2. No billboards shall exceed a maximum height of thirty feet.

3. The face size of any billboard shall not exceed twelve (12) feet in vertical height or twenty-four (24) feet in horizontal dimension.

4. No new, relocated, or remodeled billboard face shall be internally lit, contain or utilize any electronic or digital component, liquid crystal diodes, light emitting diode, motion signage, rotating louvers, and similar digital technologies.

5. Billboards may be installed on public or private property, subject to the consent of the property owner, and city approval based on the City’s evaluation of traffic safety issues resulting from the billboard. No billboard shall be installed within any transportation right-ofway.

6. All structural supports for billboards shall be constructed of steel.

7. Evidence must be provided showing the obtaining of a state permit from the Oregon Department of Transportation (ODOT) in compliance with the Oregon Motorists Information Act of 1971, where applicable

8. The applicant shall acquire a conditional use permit (CUP) from the City of Redmond for each individual billboard prior to installing or relocating any billboard subject to the criteria in Section 8.0600.

9. Lighting of Billboards: No sign shall be so illuminated that it interferes with the effectiveness of any official traffic device, impairs the vision of a driver of any motor vehicle, or otherwise interferes with a driver’s operation of a motor vehicle. No sign shall be so illuminated that it causes glare to adjacent residential structures. All lighting of billboards shall be shielded downcast lighting. The external lighting source for billboards shall be from a solar system or underground electrical line. Overhead electrical lines are prohibited.

[Section 8.4240 amended by Ord. #2008-21 passed October 28, 2008]

[Section 8.4240 amended by Ord. #2008-23 passed December 9, 2008]

[Section 8 4240 amended by Ord. #2015-02 passed March 10, 2015]

8.4245 Billboards: Number Allowed. The total maximum number of billboards shall not exceed fifteen (15) within the Redmond Urban Growth Boundary and City limits. A Conditional Use permit shall be required under Section 8.0600 to relocate or replace one of these existing billboards; however, the permit for relocation or replacement must be obtained prior to removal of the existing billboard unless approved by the Community Development Director, or Hearings Body.

[Section 8.4245 amended by Ord. #2008-23 passed December 9, 2008]

8.4250 Daily Display Signs. Daily display signs shall require a daily display sign permit from the Community Development Department and shall conform to the following standards.

1. One allowed per 25 feet of street-facing frontage.

2. One allowed per business.

3. Sign dimension shall not exceed a maximum width of three (3) feet and a maximum height, from ground level, of four (4) feet, but in no case shall exceed nine (9) square feet.

4. Set back behind the curb so as not to interfere with on-street parking, or a minimum of ten

CHAPTER 8 DEVELOPMENT REGULATIONS 301

(10) feet from the edge of the nearest street travel lane where curbs are not in place.

5. Signs may be located either on private property or in the public right-of-way, shall comply with the Americans with Disabilities Act (ADA), and shall not interfere with pedestrian movement of wheelchair access to, through, and around the site. A minimum access width of five (5) feet shall be maintained along all sidewalks and building entrances accessible to the public. Signs should be placed either next to the building / business or at the curbside by a street tree or other public amenity so as not to block on-street parking accessibility.

6. A City right-of-way permit must be obtained prior to approval of a sign permit. The applicant shall provide a map showing where the sign will be placed. The sign permit and City right-of-way permit shall be revocable in case of noncompliance.

7. Shall not be placed in the clear vision triangle.

8. The sign shall not be placed within 3 feet of public art.

9. Shall not encroach into required off-street parking areas, public roadways, or alleys.

10. Shall be utilized only during regular business hours and shall be removed during nonbusiness hours.

11. Shall be adequately supported and shall have a weighted based capable of keeping the sign upright.

12. Materials shall be of a permanent nature and not be subject to fading or damage from weather. Paper or cloth is not permitted unless located within a glass or plastic enclosure. A wood base is recommended.

13. No lighting is permitted as a part of the sign.

14. Sign shall appear professionally designed, manufactured, and be continuously maintained. All lettering shall be fixed. 40% of the sign may be chalk/white board.

15. A sign permit application for a Daily Display Sign to be located on public property and/or public right-of-way shall be accompanied by a certificate of insurance showing that the owner has Commercial General Liability coverage as defined in the application, and that the insurance company shall notify the City no less than 10 business days prior to cancelling the insurance policy.

16. The sign owner shall assume all liability for incidents involving the sign by signing a document exempting the city from liability

[Section 8.4250 amended by Ord. #2011-05 passed May 24, 2011]

[Section 8.4250 amended by Ord. #2016-17 passed January 31, 2017]

CHAPTER 8 DEVELOPMENT REGULATIONS 302

MAINTENANCE, CONSTRUCTION AND SAFETY STANDARDS

8.4300 Maintenance. All signs together with all of their supports, braces, guys, and anchors shall be kept in good repair and be maintained in a safe condition. All signs and the site on which they are located shall be maintained in a neat, clean, and attractive condition. Signs shall be kept free from deterioration. The display surfaces, trims, frames, and supports of all signs shall be kept neatly painted or otherwise neatly maintained, as applicable. No person shall scatter, daub, or leave any paint, paste, or glue or other substances used for painting or affixing a message to the display surface of any sign or throw or permit to be scattered or throw any bills, waste matter, paper, cloth, or materials of whatsoever kind removed from a sign on any public street, sidewalk, or private property.

8.4305 Wind Loads. Signs shall be designed and constructed to withstand wind loads as set forth in Chapter 23 of the Uniform Building Code.

8.4310 Design.

1. All bracing systems shall be designed and constructed to transfer lateral forces to the foundations. For signs on buildings, the dead and lateral loads shall be transmitted through the structural frame of the building to the ground in such a manner as not to over stress any of the elements thereof.

2. The overturning moment produced from lateral forces shall in no case exceed two-thirds of the dead-load resisting moment. Uplift due to overturning shall be adequately resisted by proper anchorage to the ground or to the structural frame of the building. The weight of earth superimposed over footings may be used in determining the dead-load resisting moment. Such earth shall be carefully placed and thoroughly compacted

8.4315 Seismic Loads. Signs shall be designed and constructed to resist seismic forces as specified in Chapter 23 of the Uniform Building Code

8.4320 Combined Loads.

1. Wind and seismic loads need not be combined in the design or signs and only that load producing the larger stresses need be used.

2. Vertical design loads, except roof live loads, shall be assumed to be acting simultaneously with the wind of seismic loads

8.4325

Allowable Stresses.

1. The design of wood, concrete, steel, or aluminum members shall conform to the requirements of Chapters 25, 26, 27 and 28 of the Building Code. Loads, both vertical and horizontal, exerted on the soil shall not produce stresses exceeding those specified in Chapter 29 of the Building Code.

2. The working stresses of wire ropes and its fastenings shall not exceed 25 percent of the ultimate strength of the rope or fasteners.

8.4330

Anchorage and Supports.

1. Members supporting unbraced signs shall be so proportioned that the bearing loads imposed on the soil in either direction, horizontal or vertical, shall not exceed safe values. Braced ground signs shall be anchored to resist the specified wind or seismic load acting in

CHAPTER 8 DEVELOPMENT REGULATIONS 303

any direction. Anchors and supports shall be designed for safe bearing loads on the soil and for an effective resistance to pull-out amounting to a force of 25 percent greater than the required resistance to overturning. Anchors and supports shall penetrate to a depth below ground greater than the frost line.

2. Signs attached to masonry, concrete or steel shall be safely and securely fastened thereto by means of metal anchors, bolts or approved expansion screws of sufficient size and anchorage to support safely the loads applied.

3. Unless such wall is designed in accordance with the requirements specified in Chapter 23 of the Uniform Building Code, no anchor or support of any sign or wall facade for signs shall be connected to, or supported by, an unbraced parapet wall.

4. No wooden blocks or plugs or anchors with wood used in connection with screws or nails shall be considered proper anchorage, except in the case of signs attached to wood framing.

8.4335 Clearance from High Voltage Power Lines. Signs shall be located not less than eight feet horizontally and twelve feet vertically from overhead electrical conductors which are energized in excess of standard service loads as determined by the utility company providing the service. The term "overhead conductors" as used in this section means any electrical conductor, either bare or insulated, installed above the ground except such conductors as are enclosed in iron pipe or other material covering of equal strength.

8.4340 Clearance from Fire Escapes, Exits or Standpipes No sign or sign structure shall be erected in such a manner that any portion of its surface or supports will interfere in any way with the free use of any fire escape, exit or standpipe. Signs erected within five feet of an exterior wall in which there are openings within the area of the sign shall be constructed of incombustible material or approved plastics.

8.4345 Electric Sign Construction.

1. The enclosed shell of electric signs shall be weather tight, excepting that service holes fitted with tight covers shall be provided for each compartment of such sign.

2. All electrical equipment used in connection with such signs shall be installed in accordance with the Uniform Electric Code, with Oregon amendments.

3. Every electric sign shall have painted on the surface of the sign, the name of the erector and the date the sign was erected. Such name and date shall be of sufficient size and contrast to be visible from a reasonable distance.

CHAPTER 8 DEVELOPMENT REGULATIONS 304

PERMITTED MATERIALS / ILLUMINATION

8.4400 Permitted Materials.

1. Materials for construction of signs and sign structures shall be the quality and grade as specified for buildings in the Uniform Building Code.

2. In all sign and sign structures, the material and detail of construction shall, in absence of specified requirements, conform to the following:

A. Structural steel shall be of such quality as to conform with the Uniform Building Code Standard. Secondary members in contact with or directly supporting the display surface may be forged of light gauge steel provided such members are designed in accordance with the specifications of the design of light gauge steel provided such members are designed in accordance with the specifications of the design of light gauge steel as specified in the Uniform Building Code Standard and in addition shall be galvanized. Secondary members, when formed integrally with the display surface, shall not be less than No. 24 thickness. When not formed integrally with the display surface, the minimum thickness of the secondary members shall be No 12 gauge Minimum thickness of hot-rolled steel members furnishing structural support for signs shall be one-fourth inch except that if galvanized, such members shall not be less than one-eighth inch thick. Steel pipes shall be of such quality as to conform with the Uniform Building Code Standard. Steel members may be connected with one galvanized bolt provided the connection is adequate to transfer the stresses in the members.

B. Wood anchors and supports when embedded in the soil shall be pressure-treated with an approved preservative. Such members shall be marked and branded by an approved agency recognized by the Uniform Building Code.

C. Non-structural trims, signs under marquees and portable display surfaces may be of wood, metal approved plastics or any combination thereof.

D. Display surface may be of any approved material except glass. Glass may be used in any neon tubing and incandescent lamp and tube.

E. The City Manager, or designee, may require that sufficient technical data be submitted to substantiate the proposed use of any plastic material and, if it is determined that the evidence submitted is satisfactory for the use intended, he or she may approve its use.

F. No combustible material other than approved plastics shall be used in the construction of any electric sign

G. Wood may be used in signs subject to the requirements of the City's Building and Fire Codes.

H. Wood signs shall be supported by a minimum 4x4 inch normal post.

8.4405 Illumination. Limit on sign illumination. No sign shall be erected or maintained which, by use of lights or illumination creates an unduly distracting or hazardous condition to a motorist, pedestrian or to the general public. In addition:

1. No exposed reflective type bulb, or incandescent lamp, which exceeds 25 watts, shall be exposed to direct view from a public street or highway, but may be used for indirect light illumination of the display surface of a sign.

2. When neon tubing is employed on the exterior or interior of a sign, the capacity of such tubing shall not exceed 300 milliamperes rating for any colored tubing.

CHAPTER 8 DEVELOPMENT REGULATIONS 305

3. When fluorescent tubes are used for the internal illumination of a sign, illumination shall not exceed illumination equivalent to 800 milliamperes rating tubing behind a plexiglass face spaced at least nine inches, center to center.

4. Signs on property abutting residential zones shall not be internally illuminated.

5. No colored lights shall be used at any location or in any manner so as to be confused with or construed as traffic control devices.

6. No sign may be erected or maintained if it contains, includes, or is illuminated by any flashing intermittent revolving, rotating or moving light or lights or moves or has any animated or moving parts; however, this does not apply to a traffic control sign or portions thereof providing only public service information such as time, date, temperature, weather, or similar information.

[Section 8.4405 amended by Ord. #2016-17 passed January 31, 2017]

306
CHAPTER 8 DEVELOPMENT REGULATIONS

INSPECTION AND ENFORCEMENT

8.4450 Inspection. The City Manager, or designee, may inspect signs periodically to determine their conformance with these standards.

8.4455 Enforcement. The City Manager, or designee, is hereby authorized and directed to enforce the provisions of these standards:

1. Sign Enforcement: The City Manager, or designee, may order the removal of any sign erected or maintained in violation of the provisions of these standards. Except as provided in (2), (3), (4), or (5) below, the City Manager, or designee, shall give thirty days prior written notice to the owner of the sign or the owner of the building, structure, or premises upon which the sign is located to remove the sign or bring it in compliance with the provisions of these standards. If the owner of the sign, building, structure or premises fails to comply or remove the sign, the City Manager, or designee, may order the removal of such sign at the expense of the owner of the sign, building, structure or premises on which the sign is located and such costs and expenses including but not limited to the notifications, transportation, may be a lien against the land or premises on which the sign is located and may be collected or foreclosed in the same manner as liens are entered in the lien docket of the City.

2. Temporary Signs: The City Manager, or designee, may order the immediate removal of any temporary sign erected or maintained in violation of the provisions of the temporary sign standards. The City Manager, or designee, shall give 48 hours notice, verbal or written, to the owner of the sign or the owner or representative of the building, structure, or premises upon which the sign is located to remove the sign or bring it in compliance with the provisions of these standards.

3. Prohibited Signs: The City Manager, or designee, may order the immediate removal of any prohibited sign erected or maintained in violation of the previsions of these sign standards. The City Manager, or designee, shall give 48 hours notice, verbal or written, to the owner of the sign or the owner or representative of the building, structure, or premises upon which the sign is located to remove the sign or bring it in compliance with the provision of these standards.

4. Non-Confirming Signs: The City Manager, or designee, may order the removal of nonconforming sings which have been non-confirming for seven years as described in Section 8.4500. The City Manager, or designee, shall give 180 days prior written notice to the owner of the sign or the owner of the building, structure, or premises upon which the sign is located to remove the sign or bring it in compliance with the provision of these standards. If the owner of the sign, building, structure or premises fails to comply or remove the sign, the City Manager, or designee, may order the removal of such sign at the expense of the owner of the sign, building, structure or premises on which the sign is located and such costs and expenses including but not limited to the notifications, transportation, may be a lien against the land or premises on which the sign is located and may be collected or foreclosed in the same manner as liens are entered in the lien docket of the City.

5. Summary Emergency Enforcement: If the City Manager, or designee, determines that the supports, braces, grip anchors, etc. are not kept in good repair or safe condition, and if the sign presents an immediate and serious danger to the public, he or she may, without prior written notice, order its immediate removal. The City Manager, or designee, may also authorize the removal of signs in the event that the person responsible for such sign cannot be found, or such person fails to repair or remove it. The owner of the building, structure, or premises upon which the sign is located, is jointly and severally liable for the costs of its removal and/or repair.

CHAPTER 8 DEVELOPMENT REGULATIONS 307

6. Sign Enforcement Appeal: Any order for removal of signs or actual removal of a sign by the City Manager, or designee, pursuant to the provisions of this section may be appealed to the City Council by filing written notice of appeal with the City Manager within fifteen (15) days of the order.

[Section 8.4455 amended by Ord. #2010-11 passed October 26, 2010]

CHAPTER 8 DEVELOPMENT REGULATIONS 308

NON-CONFORMING AND ABANDONED SIGNS

8.4500 Non-Conforming Signs. Except as provided within Sections 8.4505 and 8.4600, permanent signs in existence on the effective date of these standards which are not in conformance with the provisions of these standards shall be regarded as non-conforming signs and must be removed, altered, or replaced so as to conform within seven years of the effective date of these standards. Provided, however, a change in use or occupation of a site shall require full compliance with the provisions of these standards.

[Section 8.4500 amended by Ord. #2010-11 passed October 26, 2010]

8.4505 Special Requirements for Non-Conforming Signs. A non-conforming sign which is structurally altered, relocated, or replaced shall immediately conform to the requirements of these standards except that:

1. A sign may be removed from its sign structure for the purpose of repair, maintenance, or a change of copy within the dimensions of the existing sign.

2. Signs may be structurally altered where such alteration is necessary for public safety

3. Such signs may be reconstructed if they are moved for construction or repair of public works or public facilities and such reconstruction is completed within one year.

4. Such signs may be reconstructed if they are damaged by an Act of God or an accident, provided such damage does not exceed fifty percent of the cost of reconstruction of the entire sign, and provided that such sign is reconstructed within 180 days of the date the sign is damaged.

8.4510 Abandoned Signs. A sign shall be removed within thirty days by the owner or lessee of the premises upon which the sign is located when the advertised business is no longer conducted on the premises. Provided, however, a billboard allowed under these standards where a person has merely leased a contracted advertising space need not be removed in accordance with this section. Abandoned signs may be removed and costs may be collected as provided in Sections 8.4450-8.4455.

CHAPTER 8 DEVELOPMENT REGULATIONS 309

VARIANCES

8.4550 Variance Application. An applicant for a sign permit or an applicant owning or leasing a sign that is not in conformance with the provisions of these standards, may seek a variance to the provisions of these standards. A variance request for sign location or for sign height or area may be allowed by the Site and Design Review Commission. Provided, however, no variance shall exceed twenty-five (25) percent of the applicable provision. The decision of the Commission may be appealed to the City Council. A variance may be granted upon a finding by the appropriate review body that all of the following criteria can be satisfied:

1. There are exceptional or extraordinary circumstances or physical conditions such as narrowness, shallowness, shape, or topography of the property that do not generally apply to other properties or uses in the same zoning district.

2. The request will be the minimum variance necessary to alleviate the hardships or practical difficulties.

3. In determining a variance, the Commission or the Hearings Officer may attach such conditions to granting all or a portion of any variance as necessary to achieve the purpose of these standards

8.4555 Time Limit on a Permit for a Variance Authorization of a variance shall be void if the work approved by such variance is not commenced within six months of the date of approval.

CHAPTER 8 DEVELOPMENT REGULATIONS 310

HISTORICAL SIGNS

8.4600 Application. Within six (6) months of the effective date of these standards, either the Planning Director or an owner of a non-conforming sign in existence on the date of enactment of these standards may apply for a determination that the sign qualifies as an historical sign under the provisions of these standards.

8.4605 Site and Design Review. An application for an historical sign designation shall be reviewed by the Redmond Site and Design Review Commission. The Commission may designate a sign as historical if it finds the following criteria have been met or can be met with conditions:

1. The sign is essentially as constructed, with sufficient original workmanship and material to serve as instruction in period fabrication.

2. Through public interest, sentiment, uniqueness or other factors, the sign has come to connote an historical period.

3. Due to removal of similar objects or the uniqueness of this sign, the sign is singularly appropriate to represent an historical theme or period.

4. The sign is associated with significant past trends in structure materials and design and in conformance with generally accepted principles of good design and architecture.

5. The sign was constructed early in the relative scale of local history and is one of a few of its age remaining in the City.

CHAPTER 8 DEVELOPMENT REGULATIONS 311

APPEALS

8.4650 Appeals. Any decision of the Planning Director, or Site and Design Review Commission, may be appealed to the Hearings Officer in accordance with the City of Redmond land use procedures.

CHAPTER 8 DEVELOPMENT REGULATIONS 312

SPECIAL PROVISIONS

8.4700 Fees. Fees for permits and applications shall be set by resolution of the council. The developer, applicant, or owner shall pay all fees required by the City of Redmond including but not limited to, park dedication fees, construction fees and land use application fees, in full prior to the recording of the final plat or the issuance of a certificate of occupancy whichever is first in time.

[Section 8.4700 amended by Ord. #2020-15 passed November 10, 2020]

8.4705 Severability. If any part, section, subsections, sentence, or phrase of these standards is for any reason held to be invalid or unconstitutional by the decision of any court of competent jurisdiction, such decision shall not affect the validity of the remaining portions of these standards.

8.4710 Penalties. A violation of any provision of these standards shall be a Class A Civil Infraction and/or a Class A administrative infraction, with the exception of a violation to the temporary sign provisions (RDC 8.4105) which shall be a Class B Civil Infraction and/or Class B administrative infraction. Each day shall be a separate violation. Violations will be enforced through the procedures established in sections 2.750 to 2.799

[Section 8.4710 amended by Ord. #2014-05 passed April 8, 2014]

8.4715 Interpretation. Where conditions imposed by the provisions of these standards are less restrictive than comparable conditions imposed by any other provisions which are more restrictive the more restrictive shall govern.

8.4720 Violation Declared a Nuisance.

[Section 8.4720 deleted by Ord. #2010-11 passed October 26, 2010]

CHAPTER 8 DEVELOPMENT REGULATIONS 313

Turn static files into dynamic content formats.

Create a flipbook
Issuu converts static files into: digital portfolios, online yearbooks, online catalogs, digital photo albums and more. Sign up and create your flipbook.