710 NW Maple Ave., Redmond - PDP

Page 1

Subject Property: 710 NW Maple Ave|Redmond, Oregon | 97756 Tax Lot # 151309AB00103 Prepared By: Danetta Rider 845 SW Veterans Way Redmond, OR 97760 Office: 541-527-1274 Email: danettar@deschutestitle.com “Service is the Difference” Property Development Packet DISCLAIMER: Deschutes County Title has provided this information as a courtesy and assumes no liability for errors, omissions, or the accuracy of the data and does not warranty the fitness of this product for any particular purpose. Bend 397 SW Upper Terrace Dr Bend, Oregon 97702 Office: 541.389.2120 Fax: 541.389.2180 Redmond 845 SW Veterans Way Redmond, Oregon 97756 Office: 541.527.1274 Fax: 541.527.1281 La Pine 51515 Huntington Rd La Pine, Oregon 97739 Office: 541.876.6990 Fax: 541.876.2740 St Helens 240 South First Street St. Helens, Oregon 97051 Office: 503.397.2587 Fax: 503.366.1708 Prepared for Pete Rencher & Bruce Barrett pete@windermere.com (541) 923-4663 barrettrealestate@gmail.com (541) 410-3484

DESCHUTESCOUNTYPROPERTYPROFILEINFORMATION

Parcel#:122347

TaxLot:151309AB00103

Owner:SmallProperties2LLC

CoOwner:

Site:710NWMapleAve

RedmondOR97756

Mail:POBox1885

RedmondOR97756

LandUse:121-Residential-Commercialzone-Improved(typicalofclass)

StdLandUse:RMSC-ResidentialMiscellaneous

Legal:

Twn/Rng/Sec:T:15SR:13ES:09Q:NEQQ:NW

ASSESSMENT&TAXINFORMATION PROPERTYCHARACTERISTICS

MarketTotal:$454,110.00

MarketLand:$302,490.00

MarketImpr:$151,620.00

AssessmentYear:2022

AssessedTotal:$151,000.00

Exemption:

Taxes:$2,892.87

LevyCode:2-001

LevyRate:191581

SALE&LOANINFORMATION

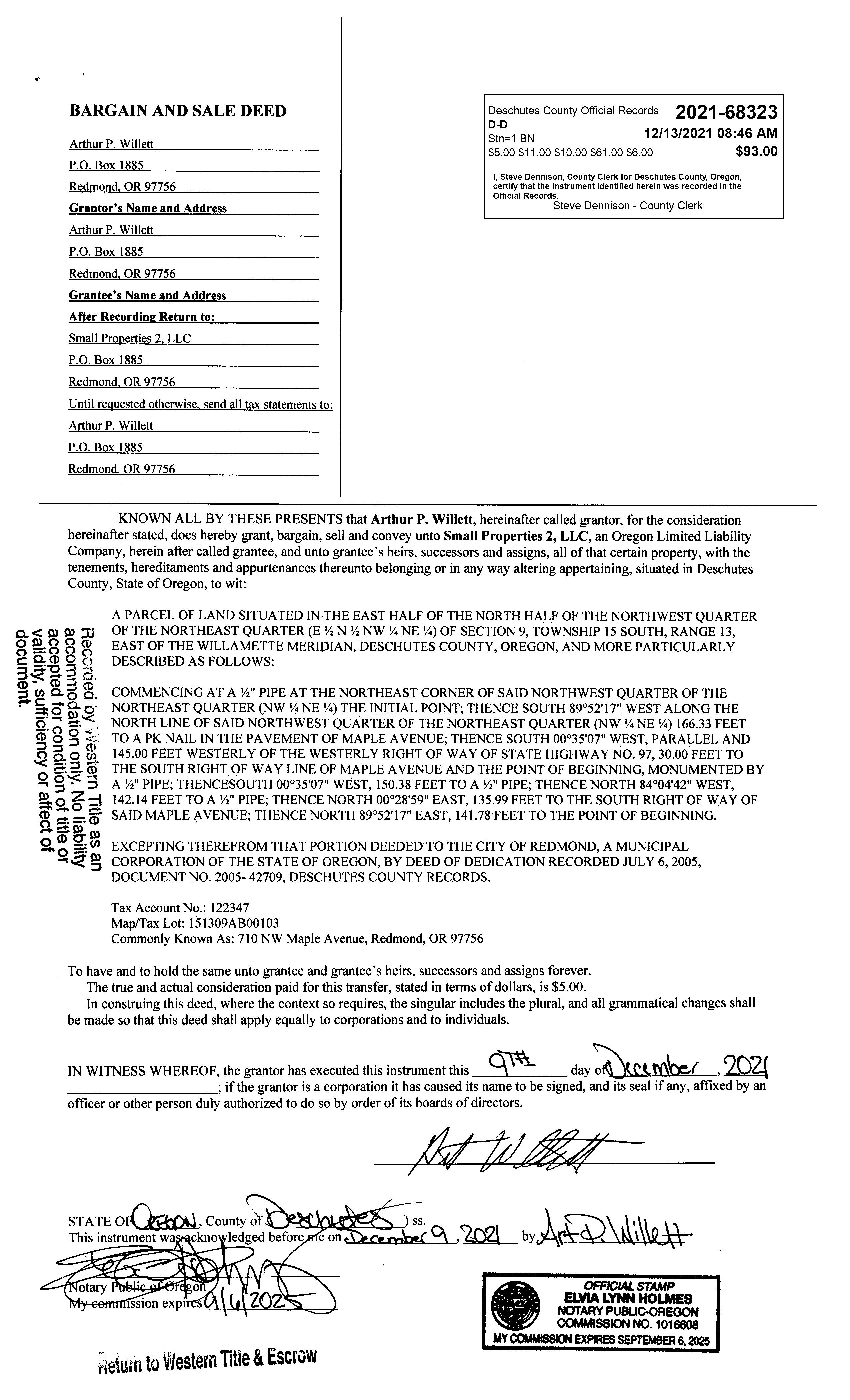
SaleDate:12/13/2021

SaleAmount:

Document#:68323

DeedType:Deed

LoanAmount: Lender: LoanType:

InterestType:

TitleCo:WESTERNTITLE&ESCROWCO

YearBuilt:1973

EffYearBuilt:

Bedrooms:3

Bathrooms:2

#ofStories:1

TotalSqFt:1,288SqFt

Floor1SqFt:1,288SqFt

Floor2SqFt:

BasementSqFt:

Lotsize:040Acres(17,424SqFt)

GarageSqFt:286SqFt

GarageType:

AC:

Pool:

HeatSource:ForcedAir

Fireplace:1

BldgCondition:Average

Neighborhood:121

Lot:

Block:

Plat/Subdiv:N/A

Zoning:C1-StripServiceCommercial

SchoolDist:2J-Redmond

Census:2010-000800

Recreation:

SentryDynamics,Inc anditscustomersmakenorepresentations,warrantiesorconditions,expressorimplied,astotheaccuracyorcompletenessofinformationcontainedinthisreport

Deschutes County Property Information

Report Date: 8/29/2023 12:50:54 PM

Disclaimer

The information and maps presented in this report are provided for your convenience. Every reasonable effort has been made to assure the accuracy of the data and associated maps. Deschutes County makes no warranty, representation or guarantee as to the content, sequence, accuracy, timeliness or completeness of any of the data provided herein. Deschutes County explicitly disclaims any representations and warranties, including, without limitation, the implied warranties of merchantability and fitness for a particular purpose. Deschutes County shall assume no liability for any errors, omissions, or inaccuracies in the information provided regardless of how caused. Deschutes County assumes no liability for any decisions made or actions taken or not taken by the user of this information or data furnished hereunder.

Account Summary

Account Information Ownership

SMALL PROPERTIES 2 LLC

Mailing Address:

SMALL PROPERTIES 2 LLC

PO BOX 1885

REDMOND, OR 97756

710 NW MAPLE AVE, REDMOND, OR 97756

Current Assessed Values:

Subdivision: Block: Lot:

Property Class: 121 -- RESIDENTIAL

Warnings, Notations, and Special Assessments

Review of digital records maintained by the Deschutes County Assessor’s Office, Tax Office, Finance Office, and the Community Development Department indicates that there are no special tax, assessment or property development related notations associated with this account. However, independent verification of the presence of other Deschutes County tax, assessment, development, and additional property related considerations is recommended. Confirmation is commonly provided by title companies, real estate agents, developers, engineering and surveying firms, and other parties who are involved in property transactions or property development. In addition, County departments may be contacted directly to discuss the information.

Valuation History All values are as of January 1 of each year. Tax year is July 1st through June 30th of each year.

Map
Tax
122347
and Taxlot: Account: Situs Address: Mailing Name:
Status: 151309AB00103
Assessable
Property Taxes Assessment Tax Code Area: Current Tax Year: 2001 $2,892.87 0.40 Valuation $302,490 $151,620 Land
Total $454,110
$151,000 $151,000
Assessor Acres:
Structures
Real Market Values as of Jan. 1, 2022
Maximum Assessed Assessed Value Veterans Exemption
2018 - 2019 2019 - 2020 2020 - 2021 2021 - 2022 2022 - 2023 Real Market Value - Land $180,640 $184,190 $204,090 $248,920 $302,490 Real Market Value - Structures $80,280 $81,890 $90,900 $109,080 $151,620 Total Real Market Value $260,920 $266,080 $294,990 $358,000 $454,110 Maximum Assessed Value $134,180 $138,200 $142,340 $146,610 $151,000 Total Assessed Value $134,180 $138,200 $142,340 $146,610 $151,000 Veterans Exemption $0 $0 $0 $0 $0
Deschutes County Property Information Report, page 1

Tax Payment History

Sales History

Year Date Due Transaction Type Transaction Date As Of Date Amount Received Tax Due Discount Amount Interest Charged Refund Interest 2022 11-15-2022 PAYMENT 11-22-2022 11-15-2022 $2,806.08 ($2,892.87) $86.79 $0.00 $0.00 2022 11-15-2022 IMPOSED 10-12-2022 11-15-2022 $0.00 $2,892.87 $0.00 $0.00 $0.00 Total: $0.00 2021 11-15-2021 PAYMENT 11-17-2021 11-15-2021 $2,632.04 ($2,713.44) $81.40 $0.00 $0.00 2021 11-15-2021 IMPOSED 10-11-2021 11-15-2021 $0.00 $2,713.44 $0.00 $0.00 $0.00 Total: $0.00 2020 11-15-2020 PAYMENT 07-12-2021 07-12-2021 $2,763.47 ($2,590.75) $0.00 $172.72 $0.00 2020 11-15-2020 IMPOSED 10-09-2020 11-15-2020 $0.00 $2,590.75 $0.00 $0.00 $0.00 Total: $0.00
Sale Date Seller Buyer Sale Amount Sale Type Recording Instrument 12/09/2021 WILLETT, ART SMALL PROPERTIES 2 LLC $5 06-GRANTEE IS RELATED/FRIENDS/BUSINES S ASSOCIATES 2021-68323 05/11/2018 WILLETT, ARTHUR WILLETT, ART $0 08-GRANTOR/GRANTEE ARE THE SAME 2018-19368 08/29/2016 DAWSON, MARGIE L WILLETT, ARTHUR P $220,000 30-UNCONFIRMED SALE 2016-35359 10/19/2010 SELLERS, MARGIE L DAWSON, MARGIE L 08-GRANTOR/GRANTEE ARE THE SAME 2010-41974 11/13/2000 SELLERS,JOHN H SELLERS,MARGIE $0 06-GRANTEE IS RELATED/FRIENDS/BUSINES S ASSOCIATES 2000-46692 06/10/1997 DONNELL,THOMAS P SELLERS,JOHN H $79,000 33-CONFIRMED SALE 1997-4511033 02/13/1991 FEDERAL NATIONAL MTG ASSOC DONNELL THOMAS P $49,000 30-UNCONFIRMED SALE 1991-2301781
Stat Class/Description Improvement Description Code Area Year Built Total Sq Ft 131 - RESIDENCE: One story 2001 1973 1,288 Floor Description Comp % Sq Ft Deschutes County Property Information Report, page 2 (For Report Disclaimer see page 1)
Structures

Related accounts apply to a property that may be on one map and tax lot but due to billing have more than one account. This occurs when a property is in multiple tax code areas. In other cases there may be business personal property or a manufactured home on this property that is not in the same ownership as the land.

First Floor 100 1,288 Living Dining Kitchen Nook Great Family Bed Full Bath Half Bath Bonus Utility Den Other 1 1 1 0 0 0 3 2 0 0 1 0 0 Rooms Floor Description Comp % Sq Ft Garage-Attached-Low Cost 100 286 BATHTUB W/FIBRGL SHWR 2 CARPET DISHWASHER 1 DRYWALL FORCED AIR HEATING 1,288 FOUNDATION - CONCRETE KITCHEN SINK 1 LAVATORY 2 OIL ROOF - GABLE ROOF CVR - TAR/GRAVEL SGL ELAB FIREPLACE 1 SIDING - BLOCK SINGLE FIREPLACE 1 TOILET 2 VINYL FLOOR WATER HEATER 1 WINDOWS - DOUBLE/THERMAL PANE WINDOWS - METAL Improvement Inventory Accessory Description Sq Ft Quantity SUNROOM 300 Land Characteristics Land Description Acres Land Classification Commercial Lot 0.40 Ownership Name Type Name Ownership Type Ownership Percentage OWNER SMALL PROPERTIES 2 LLC, OWNER 100.00% No Related Accounts found.
Accounts Category Name Phone Address COUNTY SERVICES DESCHUTES COUNTY (541) 388-6570 1300 NW WALL ST, BEND, OR 97703 FIRE DISTRICT REDMOND FIRE AND RESCUE (541) 504-5000 341 NW DOGWOOD AVE, REDMOND, OR 97756 SCHOOL DISTRICT REDMOND SCHOOL DISTRICT (541) 923-5437 145 SE SALMON AVE, REDMOND, OR 97756 ELEMENTARY SCHOOL ATTENDANCE AREA JOHN TUCK ELEMENTARY SCHOOL (541) 923-4884 209 N 10TH ST, REDMOND, OR 97756 MIDDLE SCHOOL ATTENDANCE AREA ELTON GREGORY MIDDLE SCHOOL (541) 526-6440 1220 NW UPAS AVE, REDMOND, OR 97756 HIGH SCHOOL ATTENDANCE AREA REDMOND HIGH SCHOOL (541) 923-4800 675 SW RIMROCK, REDMOND, OR 97756 EDUCATION SERVICE TAX DISTRICT HIGH DESERT EDUCATION SERVICE DISTRICT (541) 693-5600 145 SE SALMON AVE, REDMOND, OR 97756 COLLEGE TAX DISTRICT CENTRAL OREGON COMMUNITY COLLEGE (541) 383-7700 2600 NW COLLEGE WAY, BEND, OR 97703 PARK & RECREATION DISTRICT REDMOND AREA PARK & RECREATION DISTRICT (541) 548-7275 465 SW RIMROCK DR, REDMOND, OR 97756 LIBRARY DISTRICT DESCHUTES PUBLIC LIBRARY (541) 617-7050 601 NW WALL ST, BEND, OR 97703 WATER SERVICE PROVIDER REDMOND WATER DEPARTMENT (541) 504-2000 423 E ANTLER AVE #100, REDMOND, OR 97756 Service Providers Please contact districts to confirm. Deschutes County Property Information Report, page 3 (For Report Disclaimer see page 1)
Related

Development Summary

Permit Detail

- Single Family Dwelling Class of Work: ***WITHDRAWN***

DEMO 1973 DWELLING

No inspection records found.

Electrical Permit Details

711-22-002681-ELEC

Building Class: Alteration - Single Family Dwelling Class of Work:

Service Description: Branch circuits without service or feeder

20% Permit fee retention - electrical Inspections

No inspection records found.

Details

***WITHDRAWN***

Installing a couple of new circuits Building Use: Linked Permit:

711-17-000968-MECH

Number: WILLETT, ARTHUR P

LIVESTOCK DISTRICT DESCHUTES COUNTY LIVESTOCK DISTRICT NUMBER 6 (541) 388-6623 1300 NW WALL ST, BEND, OR 97703 IRRIGATION DISTRICT CENTRAL OREGON IRRIGATION DISTRICT (541) 548-6047 1055 SW LAKE CT, REDMOND, OR 97756 GARBAGE & RECYCLING SERVICE HIGH COUNTRY DISPOSAL (541) 548-4984 1090 NE HEMLOCK AVE, REDMOND, OR 97756 Jurisdiction City Zoning Description Redmond C1 STRIP SERVICE COMMERICALREDMOND UGB City of Redmond Permits Permit ID Permit Type Applicant Application Date Status 711-23-001014STR Building SMALL PROPERTIES 2 LLC 05/02/2023 Withdrawn 711-22-002681ELEC Electrical SMALL PROPERTIES 2 LLC 11/30/2022 Withdrawn 711-17-000968MECH Mechanical WILLETT, ARTHUR P 06/08/2017 Expired
Planning Jursidiction: Urban Reserve Area: Urban Growth Boundary: Redmond No Redmond 711-23-001014-STR Permit Number: SMALL PROPERTIES 2 LLC Permit Name: LTR LLC Contractor: 05/02/2023 Application Date: Issue Date: 05/22/2023 Final Date: Withdrawn Status: Building Permit Details Residential Building Class: Demolition
Building
Square Feet: Bedrooms: 1 Stories: On Sewer: $11,750 Permit Valuation: Inspections
Use:
Permit
Permit Name: AN
Contractor: 11/30/2022 Application Date: 11/30/2022 Issue Date: 12/07/2022 Final Date: Withdrawn Status: Residential
Number: SMALL PROPERTIES 2 LLC
X STREAM ELECTRIC LLC
Permit
Permit Name: JUNIPER
Contractor: 06/08/2017 Application Date: 06/08/2017 Issue Date: 03/05/2018 Final Date: Expired Status: Residential
ENTERPRISES INC
Building Class: Building Use: Mechanical Permit
Deschutes County Property Information Report, page 4 (For Report Disclaimer see page 1)

Class of Work: Linked Permit: Service Description:

Replacement - Single Family Dwelling

Assessor's Office Supplemental Information

Gas
Inspections No
Furnace - up to 100,000 BTU
fuel piping outlets
inspection records found. 121 04 2
121 -- RESIDENTIAL Neighborhood: Study Area: Maintenance Area: Property Class: Subdivision: Lot: Block: Legal Description:
Deschutes County Property Information Report, page 5 (For Report Disclaimer see page 1)

STATEMENT OF TAX ACCOUNT

2022 ADVALOREM $0.00 $0.00 $0.00 $0.00 $2,892.87 Nov 15, 2022 2021 ADVALOREM $0.00 $0.00 $0.00 $0.00 $2,713.44 Nov 15, 2021 2020 ADVALOREM $0.00 $0.00 $0.00 $0.00 $2,590.75 Nov 15, 2020 2019 ADVALOREM $0.00 $0.00 $0.00 $0.00 $2,477.62 Nov 15, 2019 2018 ADVALOREM $0.00 $0.00 $0.00 $0.00 $2,416.00 Nov 15, 2018 2017 ADVALOREM $0.00 $0.00 $0.00 $0.00 $2,358.71 Nov 15, 2017 2016 ADVALOREM $0.00 $0.00 $0.00 $0.00 $2,326.16 Nov 15, 2016 2015 ADVALOREM $0.00 $0.00 $0.00 $0.00 $2,255.13 Nov 15, 2015 2014 ADVALOREM $0.00 $0.00 $0.00 $0.00 $2,195.79 Nov 15, 2014 2013 ADVALOREM $0.00 $0.00 $0.00 $0.00 $2,134.37 Nov 15, 2013 2012 ADVALOREM $0.00 $0.00 $0.00 $0.00 $2,119.45 Nov 15, 2012 2011 ADVALOREM $0.00 $0.00 $0.00 $0.00 $2,019.72 Nov 15, 2011 2010 ADVALOREM $0.00 $0.00 $0.00 $0.00 $1,945.99 Nov 15, 2010 2009 ADVALOREM $0.00 $0.00 $0.00 $0.00 $1,915.97 Nov 15, 2009 2008 ADVALOREM $0.00 $0.00 $0.00 $0.00 $1,709.73 Nov 15, 2008 2007 ADVALOREM $0.00 $0.00 $0.00 $0.00 $1,649.13 Nov 15, 2007 2006 ADVALOREM $0.00 $0.00 $0.00 $0.00 $1,631.53 Nov 15, 2006 2005 ADVALOREM $0.00 $0.00 $0.00 $0.00 $1,631.51 Nov 15, 2005 2004 ADVALOREM $0.00 $0.00 $0.00 $0.00 $1,593.74 Nov 15, 2004 2003 ADVALOREM $0.00 $0.00 $0.00 $0.00 $1,581.32 Nov 15, 2003 2002 ADVALOREM $0.00 $0.00 $0.00 $0.00 $1,578.71 Nov 15, 2002 2001 ADVALOREM $0.00 $0.00 $0.00 $0.00 $1,517.22 Nov 15, 2001 2000 ADVALOREM $0.00 $0.00 $0.00 $0.00 $1,487.80 Nov 15, 2000 1999 ADVALOREM $0.00 $0.00 $0.00 $0.00 $1,459.10 Nov 15, 1999 1998 ADVALOREM $0.00 $0.00 $0.00 $0.00 $1,420.82 Nov 15, 1998 1997 ADVALOREM $0.00 $0.00 $0.00 $0.00 $1,383.23 Dec 15, 1997 1996 ADVALOREM $0.00 $0.00 $0.00 $0.00 $1,296.31 Nov 15, 1996
DESCHUTES COUNTY TAX COLLECTOR DESCHUTES SERVICES BUILDING BEND OR 97703 (541) 388-6540 SMALL PROPERTIES 2 LLC PO BOX 1885 REDMOND OR 97756 29-Aug-2023 122347 Tax Account # Account Status Roll Type Situs Address A Real 710 NW MAPLE AVE REDMOND 97756 Tax Summary Tax Year Tax Type Total Due Current Due Interest Due Discount Available Original Due Due Date 2001 Aug 29, 2023 Lender Name Loan Number Property ID Interest To $0.00 $0.00 $0.00 $0.00 Total Deschutes County Property Information Report, page 6 (For Report Disclaimer see page 1)

REAL PROPERTY TAX STATEMENT

JULY 1, 2022 TO JUNE 30, 2023 DESCHUTES COUNTY, OREGON - 1300 NW WALL ST STE 203, BEND, OR 97703

TAX BY DISTRICT

TAX ACCOUNT: 122347

SMALL PROPERTIES 2 LLC PO BOX 1885 REDMOND OR 97756

PROPERTY DESCRIPTION

CODE: 2001

SITUS ADDRESS: MAP: 121 CLASS: 151309-AB-00103

710 NW MAPLE AVE REDMOND

LEGAL:

VALUES: REAL MARKET (RMV) LAND STRUCTURES

RMV

ASSESSED VALUE

Full Payment with 3% Discount

Discount is lost after due date and interest may apply PAYMENT OPTIONS:

* Online

www.deschutes.org/tax

* By Mail to Deschutes County Tax, PO Box 7559 Bend OR 97708-7559

* Drop Box located at 1300 NW Wall Street, Bend or 411 SW 9th Street, Redmond

* In Person 1300 NW Wall Street, Ste 203, Bend (2nd Floor)

Please include this coupon with payment. Please do not staple, paper clip or tape your payment.

Payment Due November 15, 2022

Please select payment option

Full Payment (3% Discount)

No Additional Payment Due

Two-Thirds Payment (2% Discount)

One-Third Payment (No Discount) Next Payment Due

Next Payment Due

AMOUNT ENCLOSED $

Please make checks payable to Deschutes County Tax Collector

TAX ACCOUNT: 122347

SMALL PROPERTIES 2 LLC PO BOX 1885 REDMOND OR 97756 Deschutes County Tax Collector PO Box 7559 Bend OR 97708-7559

Change my Mailing Address

(Mailing address change form on reverse)

TOTAL
VETERAN'S
NET TAXABLE: TOTAL PROPERTY TAX: LAST YEAR THIS YEAR 248,920 109,080 358,000 302,490 151,620 454,110 146,610 0 146,610 2,713.44 151,000 0 151,000 2,892.87 TAX QUESTIONS ASSESSMENT QUESTIONS (541) 388-6540 (541) 388-6508 $2,806.08
05/15/23 02/15/23 $964.29 $1,890.01 $2,806.08
TOTAL
EXEMPTION
09100001223470000096429000018900100002806085 151,000 146,610 MAXIMUM
VALUE
ASSESSED
For Property Information: dial.deschutes.org SCHOOL DISTRICT #2J 703.57 C O C C 86.87 HIGH DESERT ESD 13.51 EDUCATION TOTAL: 803.95 DESCHUTES COUNTY 170.58 COUNTY LIBRARY 77.03 COUNTYWIDE LAW ENFORCEMENT 147.03 COUNTY EXTENSION/4H 3.16 9-1-1 50.66 CITY OF REDMOND 617.45 REDMOND DWNTWN URBAN RENEWAL 144.79 REDMOND SOUTH 97 URBAN RENEWAL 25.22 REDMOND FIRE & RESCUE 245.62 REDMOND FIRE & RESCUE LOCAL OPTION 40.77 REDMOND AREA PARK & REC DISTRICT 52.05 GENERAL GOVT TOTAL: 1,574.36 COUNTY LIBRARY BOND 50.95 CITY OF REDMOND BOND 2022 109.20 SCHOOL #2J BOND 2004 113.28 SCHOOL #2J BOND 2008 194.34 SCHOOL #2J BOND 2021 35.21 C O C C BOND 11.58 BONDS - OTHER TOTAL: 514.56 Deschutes County Property Information Report, page 7 (For Report Disclaimer see page 1)
Deschutes County Property Information Report, page 8 (For Report Disclaimer see page 1)
De sc h u te s C o u n ty GIS De sc hu t es Cou nt y P rop er t y I nf orm at i on - Di al Roa
Map and Ta x l ot: 151 30 9A B 00103 Deschutes County Property Information Report, page 9 (For Report Disclaimer see page 1)
d Map

AerialMap

ParcelID:122347

TaxAccount#:151309AB00103

710NWMapleAve, RedmondOR97756

Thismap/platisbeingfurnishedasanaidinlocatingtheherein describedlandinrelationtoadjoiningstreets,naturalboundariesand otherland,andisnotasurveyofthelanddepictedExcepttotheextent apolicyoftitleinsuranceisexpresslymodifiedbyendorsement,ifany, thecompanydoesnotinsuredimensions,distances,locationof easements,acreageorothermattersshownthereon

AssessorMap

ParcelID:122347

TaxAccount#:151309AB00103

710NWMapleAve, RedmondOR97756

Thismap/platisbeingfurnishedasanaidinlocatingtheherein describedlandinrelationtoadjoiningstreets,naturalboundariesand otherland,andisnotasurveyofthelanddepictedExcepttotheextent apolicyoftitleinsuranceisexpresslymodifiedbyendorsement,ifany, thecompanydoesnotinsuredimensions,distances,locationof easements,acreageorothermattersshownthereon

Home Depot Goo d Will Ind ustries Oreg on Feed & Irrigation Strip Ma ll Strip Ma ll Selco CCU St Charles Hospital Walmart Remond Vet Clinic Pap a's Pizza Petco So nic Starb uck's Coffee Verizon Pan da Express Mini Storag e Med ical Offices Dentis t Cacade Ima gin g Surroundi ng Business es 71 0 N W M aple Ave BEND LA PIN E SISTERS REDMOND SUNR IVER 20 97 126 20 20 97 Map Data is deemed reliable but not guaranteed Deschutes County Tit e accepts no respons bility for accuracy 0 600 1,200 300 Feet 151309AB00103

FloodMap

ParcelID:122347

TaxAccount#:151309AB00103

710NWMapleAve, RedmondOR97756

Thismap/platisbeingfurnishedasanaidinlocatingtheherein describedlandinrelationtoadjoiningstreets,naturalboundariesand otherland,andisnotasurveyofthelanddepictedExcepttotheextent apolicyoftitleinsuranceisexpresslymodifiedbyendorsement,ifany, thecompanydoesnotinsuredimensions,distances,locationof easements,acreageorothermattersshownthereon

ParcelID:122347

TaxAccount#:151309AB00103

710NWMapleAve, RedmondOR97756

Thismap/platisbeingfurnishedasanaidinlocatingtheherein describedlandinrelationtoadjoiningstreets,naturalboundariesand otherland,andisnotasurveyofthelanddepictedExcepttotheextent apolicyoftitleinsuranceisexpresslymodifiedbyendorsement,ifany, thecompanydoesnotinsuredimensions,distances,locationof easements,acreageorothermattersshownthereon

SoilMap

StreetMap

ParcelID:122347

TaxAccount#:151309AB00103

710NWMapleAve, RedmondOR97756

Thismap/platisbeingfurnishedasanaidinlocatingtheherein describedlandinrelationtoadjoiningstreets,naturalboundariesand otherland,andisnotasurveyofthelanddepictedExcepttotheextent apolicyoftitleinsuranceisexpresslymodifiedbyendorsement,ifany, thecompanydoesnotinsuredimensions,distances,locationof easements,acreageorothermattersshownthereon

SubdivisionMap

ParcelID:122347

TaxAccount#:151309AB00103

710NWMapleAve, RedmondOR97756

Thismap/platisbeingfurnishedasanaidinlocatingtheherein describedlandinrelationtoadjoiningstreets,naturalboundariesand otherland,andisnotasurveyofthelanddepictedExcepttotheextent apolicyoftitleinsuranceisexpresslymodifiedbyendorsement,ifany, thecompanydoesnotinsuredimensions,distances,locationof easements,acreageorothermattersshownthereon

ParcelID:122347

TaxAccount#:151309AB00103

710NWMapleAve, RedmondOR97756

Thismap/platisbeingfurnishedasanaidinlocatingtheherein describedlandinrelationtoadjoiningstreets,naturalboundariesand otherland,andisnotasurveyofthelanddepictedExcepttotheextent apolicyoftitleinsuranceisexpresslymodifiedbyendorsement,ifany, thecompanydoesnotinsuredimensions,distances,locationof easements,acreageorothermattersshownthereon

TransportationMap

ZoningMap

ParcelID:122347

TaxAccount#:151309AB00103

710NWMapleAve, RedmondOR97756

Thismap/platisbeingfurnishedasanaidinlocatingtheherein describedlandinrelationtoadjoiningstreets,naturalboundariesand otherland,andisnotasurveyofthelanddepictedExcepttotheextent apolicyoftitleinsuranceisexpresslymodifiedbyendorsement,ifany, thecompanydoesnotinsuredimensions,distances,locationof easements,acreageorothermattersshownthereon

CHAPTER 8

REDMOND CODE
The contents of Chapter Development Regulations can be found here: https://www.redmondoregon.gov/home/showpublisheddocument/3426/638091 082331730000
DEVELOPMENT REGULATIONS
N W 9 t h S t N W 4 t h S t N C a n a l Blv d WLarchAv l B l d Acct # 122347 Water Distribution System Aerial Esri Community Maps Contributors, Oregon State Parks, State of Oregon GEO, © OpenStreetMap, Microsoft, Esri, HERE, Garmin, SafeGraph, WATER LATERAL Commercial Domestic Fire HydrantLaterals Industrial Irrigation System Commercial/Fire GRAVITY MAIN SYSTEM VALVE FITTINGS Bend Cap Coupling Cross ExpansionJoint Offset 8/30/2023, 9:39:11 AM 0 0.06 0.11 0.03 mi 0 0.09 0.17 0.04 km 1:4,514 Web AppBuilder for ArcGIS Esri Community Maps Contributors, Oregon State Parks, State of Oregon GEO, © OpenStreetMap, Microsoft, Esri, HERE, Garmin, SafeGraph, GeoTechnologies, Inc, METI/NASA, USGS, Bureau of Land Management, EPA, NPS, US Census Bureau, USDA | Esri
N W 9 t h S t N W 4 t h S t N C a n a l Blv d WLarchAv C a l B l d Acct # 122347 Water Distribution System No Aerial Esri Community Maps Contributors, Oregon State Parks, State of Oregon GEO, © OpenStreetMap, Microsoft, Esri, HERE, Garmin, SafeGraph, WATER LATERAL Commercial Domestic Fire HydrantLaterals Industrial Irrigation System Commercial/Fire GRAVITY MAIN SYSTEM VALVE FITTINGS Bend Cap Coupling Cross ExpansionJoint Offset 8/30/2023, 9:38:38 AM 0 0.06 0.11 0.03 mi 0 0.09 0.17 0.04 km 1:4,514 Web AppBuilder for ArcGIS Esri Community Maps Contributors, Oregon State Parks, State of Oregon GEO, © OpenStreetMap, Microsoft, Esri, HERE, Garmin, SafeGraph, GeoTechnologies, Inc, METI/NASA, USGS, Bureau of Land Management, EPA, NPS, US Census Bureau, USDA | Esri
Acct # 122347 Waste Water Collection System Aerial Esri Community Maps Contributors, Oregon State Parks, State of Oregon GEO, © OpenStreetMap, Microsoft, Esri, HERE, Garmin, SafeGraph, REDMOND TAXLOTS COLLECTION MAIN SERVICE LATERAL CLEAN OUT MANHOLE PRESSURE MAIN PUMP STATION 8/30/2023, 9:36:22 AM 0 0.03 0.05 0.01 mi 0 0.04 0.08 0.02 km 1:2,257 Web AppBuilder for ArcGIS Esri Community Maps Contributors, Oregon State Parks, State of Oregon GEO, © OpenStreetMap, Microsoft, Esri, HERE, Garmin, SafeGraph, GeoTechnologies, Inc, METI/NASA, USGS, Bureau of Land Management, EPA, NPS, US Census Bureau, USDA | Esri
N W 9 t h S t N W 4 t h S t N C a n a l Blv d WLarchAv C a l B l d Acct # 122347 Waste Water Collection System No Aerial Esri Community Maps Contributors, Oregon State Parks, State of Oregon GEO, © OpenStreetMap, Microsoft, Esri, HERE, Garmin, SafeGraph, REDMOND TAXLOTS COLLECTION MAIN SERVICE LATERAL CLEAN OUT MANHOLE PRESSURE MAIN PUMP STATION 8/30/2023, 9:37:51 AM 0 0.06 0.11 0.03 mi 0 0.09 0.17 0.04 km 1:4,514 Web AppBuilder for ArcGIS Esri Community Maps Contributors, Oregon State Parks, State of Oregon GEO, © OpenStreetMap, Microsoft, Esri, HERE, Garmin, SafeGraph, GeoTechnologies, Inc, METI/NASA, USGS, Bureau of Land Management, EPA, NPS, US Census Bureau, USDA | Esri
W C a n y o n D r N W C a n y o n D r
# 122347 Stormwater
Esri Community Maps Contributors, Oregon State Parks, State of Oregon GEO, © OpenStreetMap, Microsoft, Esri, HERE, Garmin, SafeGraph, DETENTION BASINS INFILTRATION BASIN POND SWALE STORM PIPE ACCESS POINTS CLEANOUT MANHOLE OTHER SEDIMENTATION MANHOLE VAULT STORM UIC FACILITIES DRILL HOLE DRYWELL FRENCH DRAIN 8/30/2023, 9:43:24 AM 0 0.06 0.11 0.03 mi 0 0.09 0.17 0.04 km 1:4,514 Web AppBuilder for ArcGIS Esri Community Maps Contributors, Oregon State Parks, State of Oregon GEO, © OpenStreetMap, Microsoft, Esri, HERE, Garmin, SafeGraph, GeoTechnologies, Inc, METI/NASA, USGS, Bureau of Land Management, EPA, NPS, US Census Bureau, USDA | Esri
Acct
Aerial
W C a n y o n D r N W C a n y o n D r Acct # 122347 Stormwater No Aerial Esri Community Maps Contributors, Oregon State Parks, State of Oregon GEO, © OpenStreetMap, Microsoft, Esri, HERE, Garmin, SafeGraph, DETENTION BASINS INFILTRATION BASIN POND SWALE STORM PIPE ACCESS POINTS CLEANOUT MANHOLE OTHER SEDIMENTATION MANHOLE VAULT STORM UIC FACILITIES DRILL HOLE DRYWELL FRENCH DRAIN 8/30/2023, 9:44:38 AM 0 0.06 0.11 0.03 mi 0 0.09 0.17 0.04 km 1:4,514 Web AppBuilder for ArcGIS Esri Community Maps Contributors, Oregon State Parks, State of Oregon GEO, © OpenStreetMap, Microsoft, Esri, HERE, Garmin, SafeGraph, GeoTechnologies, Inc, METI/NASA, USGS, Bureau of Land Management, EPA, NPS, US Census Bureau, USDA | Esri
W C a n y o n D r N W C a n y o n D r Acct # 122347 Natural Gas Aerial Esri Community Maps Contributors, Oregon State Parks, State of Oregon GEO, © OpenStreetMap, Microsoft, Esri, HERE, Garmin, SafeGraph, NATURAL GAS REDMOND TAXLOTS 8/30/2023, 9:51:10 AM 0 0.06 0.11 0.03 mi 0 0.09 0.17 0.04 km 1:4,514 Web AppBuilder for ArcGIS Esri Community Maps Contributors, Oregon State Parks, State of Oregon GEO, © OpenStreetMap, Microsoft, Esri, HERE, Garmin, SafeGraph, GeoTechnologies, Inc, METI/NASA, USGS, Bureau of Land Management, EPA, NPS, US Census Bureau, USDA | Esri
W C a n y o n D r N W C a n y o n D r Acct # 122347 Natural Gas No Aerial Esri Community Maps Contributors, Oregon State Parks, State of Oregon GEO, © OpenStreetMap, Microsoft, Esri, HERE, Garmin, SafeGraph, NATURAL GAS REDMOND TAXLOTS 8/30/2023, 9:45:54 AM 0 0.06 0.11 0.03 mi 0 0.09 0.17 0.04 km 1:4,514 Web AppBuilder for ArcGIS Esri Community Maps Contributors, Oregon State Parks, State of Oregon GEO, © OpenStreetMap, Microsoft, Esri, HERE, Garmin, SafeGraph, GeoTechnologies, Inc, METI/NASA, USGS, Bureau of Land Management, EPA, NPS, US Census Bureau, USDA | Esri

Site Details Map

City: Redmond County: Deschutes County

State: Oregon

ZIP Code: 97756

Census Tract: 41017000800

Census Block Group: 410170008001

CBSA: Bend, OR Metropolitan Statistical Area

of Land Management, State of Oregon GEO, State of Oregon, Esri, HERE, Garmin, INCREMENT P, NGA, USGS, U.S. Forest Service 0 0.8 1.6 mi
Bureau
NW Maple Ave, Redmond, Oregon, 97756 Prepared by Esri Rings: 1, 3, 5 mile radii Latitude: 44.29071 Longitude: -121.17506
710
This site is located in:
August 30, 2023 ©2023 Esri Page 1 of 1

ACS Population Summary

710 NW Maple Ave, Redmond, Oregon, 97756 Prepared by Esri Ring: 1 mile radius Latitude: 44.29071 Longitude: -121.17506 2017-2021 ACS Estimate Percent MOE(±) Reliability TOTALS Total Population 8,830 671 Total Households 3,579 229 Total Housing Units 3,748 233 POPULATION AGE 3+ YEARS BY SCHOOL ENROLLMENT Total 8,631 100.0% 648 Enrolled in school 1,883 21 8% 269 Enrolled in nursery school, preschool 132 1 5% 41 Public school 83 1.0% 44 Private school 49 0.6% 34 Enrolled in kindergarten 10 0.1% 16 Public school 10 0.1% 16 Private school 0 0.0% 0 Enrolled in grade 1 to grade 4 443 5.1% 105 Public school 429 5.0% 104 Private school 14 0.2% 26 Enrolled in grade 5 to grade 8 483 5.6% 113 Public school 394 4 6% 110 Private school 89 1.0% 44 Enrolled in grade 9 to grade 12 431 5 0% 138 Public school 375 4.3% 138 Private school 56 0.6% 27 Enrolled in college undergraduate years 314 3.6% 120 Public school 289 3.3% 123 Private school 25 0.3% 64 Enrolled in graduate or professional school 70 0 8% 56 Public school 41 0.5% 45 Private school 29 0.3% 33 Not enrolled in school 6,749 78.2% 420 POPULATION AGE 65+ BY RELATIONSHIP AND HOUSEHOLD TYPE Total 1,679 100.0% 129 Living in Households 1,671 99 5% 125 Living in Family Households 1,235 73 6% 114 Householder 598 35 6% 67 Spouse 510 30 4% 59 Parent 20 1.2% 30 Parent-in-law 32 1.9% 96 Other Relative 47 2.8% 27 Nonrelative 29 1.7% 48 Living in Nonfamily Households 435 25 9% 73 Householder 425 25.3% 71 Nonrelative 10 0.6% 28 Living in Group Quarters 8 0 5% 27 Source: U.S. Census Bureau, 2017-2021 American Community Survey Reliability: high medium low August 30, 2023 ©2023 Esri Page 1 of 24

ACS Population Summary

710 NW Maple Ave, Redmond, Oregon, 97756 Prepared by Esri Ring: 1 mile radius Latitude: 44.29071 Longitude: -121.17506 2017-2021 ACS Estimate Percent MOE(±) Reliability HOUSEHOLDS BY TYPE AND SIZE Family Households 2,437 68 1% 239 2-Person 1,148 32.1% 130 3-Person 536 15 0% 184 4-Person 395 11 0% 124 5-Person 290 8 1% 97 6-Person 41 1.1% 29 7+ Person 27 0.8% 65 Nonfamily Households 1,142 31 9% 127 1-Person 934 26 1% 113 2-Person 191 5.3% 63 3-Person 16 0.4% 94 4-Person 0 0.0% 0 5-Person 0 0.0% 0 6-Person 0 0.0% 0 7+ Person 0 0.0% 0 HOUSEHOLDS BY PRESENCE OF PEOPLE UNDER 18 YEARS BY HOUSEHOLD TYPE Households with one or more people under 18 years 877 24.5% 124 Family households 877 24.5% 124 Married-couple family 677 18.9% 115 Male householder, no wife present 93 2.6% 58 Female householder, no husband present 106 3.0% 48 Nonfamily households 0 0.0% 0 Households with no people under 18 years 2,702 75.5% 216 Married-couple family 1,280 35.8% 209 Other family 280 7.8% 95 Nonfamily households 1,142 31.9% 127 HOUSEHOLDS BY PRESENCE OF PEOPLE 65 YEARS AND OVER, HOUSEHOLD SIZE AND HOUSEHOLD TYPE Households with Pop 65+ 1,174 32.8% 96 1-Person 397 11.1% 70 2+ Person Family 748 20.9% 74 2+ Person Nonfamily 29 0.8% 19 Households with No Pop 65+ 2,404 67.2% 247 1-Person 537 15.0% 110 2+ Person Family 1,689 47.2% 232 2+ Person Nonfamily 178 5.0% 62 HOUSEHOLD TYPE BY RELATIVES AND NONRELATIVES FOR POPULATION IN HOUSEHOLDS POPULATION IN HOUSEHOLDS Total 8,791 100.0% 667 In Family Households 7,426 84 5% 696 In Married-Couple Family 5,728 65 2% 675 Relatives 5,627 64 0% 647 Nonrelatives 101 1.1% 79 In Male Householder-No Spouse Present-Family 434 4.9% 209 Relatives 357 4 1% 150 Nonrelatives 77 0.9% 70 In Female Householder-No Spouse Present-Family 1,264 14 4% 337 Relatives 1,184 13.5% 317 Nonrelatives 80 0.9% 65 In Nonfamily Households 1,365 15 5% 170 Source: U.S. Census Bureau, 2017-2021 American Community Survey Reliability: high medium low August 30, 2023 ©2023 Esri Page 2 of 24

ACS Population Summary

710 NW Maple Ave, Redmond, Oregon, 97756 Prepared by Esri Ring: 1 mile radius Latitude: 44.29071 Longitude: -121.17506 2017-2021 ACS Estimate Percent MOE(±) Reliability POPULATION AGE 5+ YEARS BY LANGUAGE SPOKEN AT HOME AND ABILITY TO SPEAK ENGLISH Total 8,463 100.0% 635 5 to 17 years Speak only English 1,250 14 8% 201 Speak Spanish 117 1.4% 87 Speak English "very well" or "well" 66 0.8% 52 Speak English "not well" 51 0.6% 61 Speak English "not at all" 0 0 0% 0 Speak other Indo-European languages 0 0.0% 0 Speak English "very well" or "well" 0 0.0% 0 Speak English "not well" 0 0.0% 0 Speak English "not at all" 0 0 0% 0 Speak Asian and Pacific Island languages 0 0.0% 0 Speak English "very well" or "well" 0 0.0% 0 Speak English "not well" 0 0.0% 0 Speak English "not at all" 0 0 0% 0 Speak other languages 0 0.0% 0 Speak English "very well" or "well" 0 0.0% 0 Speak English "not well" 0 0.0% 0 Speak English "not at all" 0 0 0% 0 18 to 64 years Speak only English 4,847 57.3% 579 Speak Spanish 395 4.7% 131 Speak English "very well" or "well" 337 4 0% 152 Speak English "not well" 58 0.7% 54 Speak English "not at all" 0 0 0% 0 Speak other Indo-European languages 165 1.9% 83 Speak English "very well" or "well" 165 1 9% 83 Speak English "not well" 0 0.0% 0 Speak English "not at all" 0 0 0% 0 Speak Asian and Pacific Island languages 11 0.1% 19 Speak English "very well" or "well" 11 0.1% 19 Speak English "not well" 0 0.0% 0 Speak English "not at all" 0 0 0% 0 Speak other languages 0 0.0% 0 Speak English "very well" or "well" 0 0.0% 0 Speak English "not well" 0 0.0% 0 Speak English "not at all" 0 0 0% 0 65 years and over Speak only English 1,576 18 6% 124 Speak Spanish 85 1.0% 36 Speak English "very well" or "well" 31 0.4% 64 Speak English "not well" 29 0.3% 48 Speak English "not at all" 25 0 3% 78 Speak other Indo-European languages 17 0.2% 34 Speak English "very well" or "well" 17 0.2% 34 Speak English "not well" 0 0.0% 0 Speak English "not at all" 0 0 0% 0 Speak Asian and Pacific Island languages 0 0.0% 0 Speak English "very well" or "well" 0 0.0% 0 Speak English "not well" 0 0.0% 0 Speak English "not at all" 0 0 0% 0 Speak other languages 0 0.0% 0 Speak English "very well" or "well" 0 0.0% 0 Speak English "not well" 0 0.0% 0 Speak English "not at all" 0 0 0% 0 Source: U.S. Census Bureau, 2017-2021 American Community Survey Reliability: high medium low August 30, 2023 ©2023 Esri Page 3 of 24
710 NW Maple Ave, Redmond, Oregon, 97756 Prepared by Esri Ring: 1 mile radius Latitude: 44.29071 Longitude: -121.17506 2017-2021 ACS Estimate Percent MOE(±) Reliability WORKERS AGE 16+ YEARS BY PLACE OF WORK Total 4,022 100.0% 371 Worked in state and in county of residence 3,822 95.0% 363 Worked in state and outside county of residence 173 4 3% 58 Worked outside state of residence 27 0.7% 14 SEX BY CLASS OF WORKER FOR THE CIVILIAN EMPLOYED POPULATION 16 YEARS AND OVER Total: 4,176 100.0% 437 Male: 2,008 48 1% 300 Employee of private company workers 1,390 33 3% 230 Self-employed in own incorporated business workers 261 6.2% 85 Private not-for-profit wage and salary workers 60 1.4% 36 Local government workers 152 3.6% 96 State government workers 36 0.9% 29 Federal government workers 50 1.2% 49 Self-employed in own not incorporated business workers 58 1.4% 28 Unpaid family workers 0 0.0% 0 Female: 2,168 51 9% 224 Employee of private company workers 1,230 29 5% 204 Self-employed in own incorporated business workers 145 3 5% 55 Private not-for-profit wage and salary workers 422 10 1% 139 Local government workers 158 3.8% 47 State government workers 57 1.4% 18 Federal government workers 37 0.9% 31 Self-employed in own not incorporated business workers 111 2.7% 52 Unpaid family workers 7 0 2% 21 POPULATION IN HOUSEHOLDS AND PRESENCE OF A COMPUTER Total 8,791 100.0% 667 Population <18 in Households 1,734 19 7% 232 Have a Computer 1,734 19 7% 239 Have NO Computer 0 0.0% 0 Population 18-64 in Households 5,387 61 3% 582 Have a Computer 5,356 60 9% 582 Have NO Computer 31 0 4% 88 Population 65+ in Households 1,671 19 0% 125 Have a Computer 1,624 18.5% 124 Have NO Computer 46 0 5% 38 HOUSEHOLDS AND INTERNET SUBSCRIPTIONS Total 3,579 100.0% 229 With an Internet Subscription 3,284 91.8% 233 Dial-Up Alone 16 0 4% 27 Broadband 2,569 71 8% 222 Satellite Service 242 6.8% 58 Other Service 15 0 4% 25 Internet Access with no Subscription 70 2.0% 34 With No Internet Access 225 6 3% 81 Source: U.S. Census Bureau, 2017-2021 American Community Survey Reliability: high medium low August 30, 2023 ©2023 Esri Page 4 of 24
ACS Population Summary

ACS Population Summary

710 NW Maple Ave, Redmond, Oregon, 97756 Prepared by Esri Ring: 1 mile radius Latitude: 44.29071 Longitude: -121.17506 2017-2021 ACS Estimate Percent MOE(±) Reliability WORKERS AGE 16+ YEARS BY MEANS OF TRANSPORTATION TO WORK Total 4,022 100.0% 371 Drove alone 2,577 64 1% 275 Carpooled 698 17 4% 171 Public transportation (excluding taxicab) 34 0.8% 99 Bus or trolley bus 34 0.8% 99 Light rail, streetcar or trolley 0 0.0% 0 Subway or elevated 0 0.0% 0 Long-distance/Commuter Train 0 0.0% 0 Ferryboat 0 0.0% 0 Taxicab 18 0.4% 30 Motorcycle 14 0.3% 24 Bicycle 12 0.3% 22 Walked 91 2.3% 53 Other means 17 0.4% 30 Worked at home 561 13 9% 194 WORKERS AGE 16+ YEARS (WHO DID NOT WORK
HOME) BY TRAVEL TIME TO WORK Total 3,461 100.0% 347 Less than 5 minutes 138 4.0% 55 5 to 9 minutes 614 17.7% 203 10 to 14 minutes 678 19 6% 97 15 to 19 minutes 398 11 5% 103 20 to 24 minutes 273 7.9% 115 25 to 29 minutes 272 7 9% 73 30 to 34 minutes 689 19.9% 151 35 to 39 minutes 92 2 7% 55 40 to 44 minutes 148 4.3% 61 45 to 59 minutes 53 1 5% 43 60 to 89 minutes 68 2.0% 78 90 or more minutes 38 1 1% 35 Average Travel Time to Work (in minutes) N/A N/A
20-64 YEARS
AGE OF OWN CHILDREN AND EMPLOYMENT STATUS Total 2,931 100.0% 344 Own children under 6 years only 204 7.0% 101 In labor force 144 4 9% 85 Not in labor force 59 2.0% 78 Own children under 6 years and 6 to 17 years 122 4 2% 56 In labor force 77 2.6% 58 Not in labor force 45 1.5% 43 Own children 6 to 17 years only 514 17.5% 94 In labor force 420 14 3% 87 Not in labor force 95 3.2% 45 No own children under 18 years 2,091 71 3% 333 In labor force 1,496 51.0% 290 Not in labor force 594 20 3% 141 Source: U.S. Census Bureau, 2017-2021 American Community Survey Reliability: high medium low August 30, 2023 ©2023 Esri Page 5 of 24
FROM
FEMALES AGE
BY
710 NW Maple Ave, Redmond, Oregon, 97756 Prepared by Esri Ring: 1 mile radius Latitude: 44.29071 Longitude: -121.17506 2017-2021 ACS Estimate Percent MOE(±) Reliability CIVILIAN NONINSTITUTIONALIZED POPULATION BY AGE & TYPES OHEALINSURANCE COVERAGE OF HEALTH INSURANCE COVERAGE Total 8,826 100.0% 669 Under 19 years: 1,861 21 1% 244 One Type of Health Insurance: 1,701 19 3% 250 Employer-Based Health Ins Only 916 10 4% 218 Direct-Purchase Health Ins Only 45 0 5% 38 Medicare Coverage Only 0 0.0% 0 Medicaid Coverage Only 578 6 5% 165 TRICARE/Military Hlth Cov Only 162 1.8% 160 VA Health Care Only 0 0.0% 0 2+ Types of Health Insurance 89 1.0% 42 No Health Insurance Coverage 71 0.8% 77 19 to 34 years: 1,665 18.9% 287 One Type of Health Insurance: 1,431 16.2% 248 Employer-Based Health Ins Only 1,139 12 9% 244 Direct-Purchase Health Ins Only 45 0.5% 28 Medicare Coverage Only 0 0.0% 0 Medicaid Coverage Only 196 2 2% 102 TRICARE/Military Hlth Cov Only 51 0.6% 50 VA Health Care Only 0 0 0% 0 2+ Types of Health Insurance 173 2.0% 129 No Health Insurance Coverage 61 0 7% 46 35 to 64 years: 3,623 41 0% 424 One Type of Health Insurance: 2,767 31 4% 386 Employer-Based Health Ins Only 1,924 21 8% 373 Direct-Purchase Health Ins Only 346 3 9% 91 Medicare Coverage Only 55 0.6% 43 Medicaid Coverage Only 408 4 6% 108 TRICARE/Military Hlth Cov Only 30 0.3% 16 VA Health Care Only 5 0 1% 9 2+ Types of Health Insurance 482 5.5% 123 No Health Insurance Coverage 373 4.2% 125 65+ years: 1,678 19.0% 125 One Type of Health Insurance: 536 6.1% 92 Employer-Based Health Ins Only 14 0.2% 28 Direct-Purchase Health Ins Only 0 0.0% 0 Medicare Coverage Only 522 5.9% 91 TRICARE/Military Hlth Cov Only 0 0 0% 0 VA Health Care Only 0 0.0% 0 2+ Types of Health Insurance: 1,142 12 9% 101 Employer-Based & Direct-Purchase Health Insurance 0 0.0% 0 Employer-Based Health & Medicare Insurance 231 2 6% 72 Direct-Purchase Health & Medicare Insurance 471 5.3% 67 Medicare & Medicaid Coverage 105 1 2% 36 Other Private Health Insurance Combos 0 0.0% 0 Other Public Health Insurance Combos 25 0.3% 17 Other Health Insurance Combinations 310 3.5% 62 No Health Insurance Coverage 0 0.0% 0 Source: U.S. Census Bureau, 2017-2021 American Community Survey Reliability: high medium low August 30, 2023 ©2023 Esri Page 6 of 24
ACS Population Summary

ACS Population Summary

CIVILIAN POPULATION AGE 18 OR OLDER BY VETERAN STATUS

CIVILIAN VETERANS AGE 18 OR OLDER BY PERIOD OF MILITARY SERVICE

NW Maple Ave, Redmond, Oregon, 97756 Prepared by Esri Ring: 1 mile radius Latitude: 44.29071 Longitude: -121.17506 2017-2021 ACS Estimate Percent MOE(±) Reliability POPULATION BY
Total 8,791 100.0% 663 Under 50 400 4.6% 144 50 to 99 442 5 0% 255 1 00 to 1 24 297 3.4% 95 1 25 to 1 49 882 10 0% 296 1 50 to 1 84 173 2.0% 77 1 85 to 1 99 125 1 4% 100 2 00 and over 6,472 73 6% 648
710
RATIO OF INCOME TO POVERTY LEVEL
Total 7,096 100.0% 571 Veteran 707 10.0% 135 Nonveteran 6,389 90.0% 525 Male 3,114 43 9% 319 Veteran 627 8 8% 123 Nonveteran 2,487 35 0% 272 Female 3,982 56 1% 334 Veteran 80 1.1% 113 Nonveteran 3,902 55 0% 331
Total 707 100.0% 135 Gulf War (9/01 or later), no Gulf War (8/90 to 8/01), no Vietnam Era 156 22 1% 126 Gulf War (9/01 or later) and Gulf War (8/90 to 8/01), no Vietnam Era 0 0.0% 4 Gulf War (9/01 or later), and Gulf War (8/90 to 8/01), and Vietnam Era 0 0.0% 0 Gulf War (8/90 to 8/01), no Vietnam Era 84 11.9% 73 Gulf War (8/90 to 8/01) and Vietnam Era 0 0.0% 0 Vietnam Era, no Korean War, no World War II 196 27 7% 51 Vietnam Era and Korean War, no World War II 0 0.0% 0 Vietnam Era and Korean War and World War II 0 0.0% 0 Korean War, no Vietnam Era, no World War II 38 5.4% 32 Korean War and World War II, no Vietnam Era 0 0 0% 0 World War II, no Korean War, no Vietnam Era 0 0.0% 0 Between Gulf War and Vietnam Era only 181 25 6% 79 Between Vietnam Era and Korean War only 52 7.4% 21 Between Korean War and World War II only 0 0.0% 0 Pre-World War II only 0 0.0% 0 HOUSEHOLDS BY POVERTY STATUS Total 3,579 100.0% 229 Income in the past 12 months below poverty level 393 11.0% 90 Married-couple family 68 1.9% 80 Other family - male householder (no wife present) 0 0.0% 0 Other family - female householder (no husband present) 65 1.8% 43 Nonfamily household - male householder 105 2.9% 78 Nonfamily household - female householder 155 4.3% 55 Income in the past 12 months at or above poverty level 3,186 89 0% 220 Married-couple family 1,889 52 8% 231 Other family - male householder (no wife present) 133 3.7% 66 Other family - female householder (no husband present) 281 7.9% 89 Nonfamily household - male householder 277 7.7% 64 Nonfamily household - female householder 605 16 9% 100 Poverty Index 89 Source: U.S. Census Bureau, 2017-2021 American Community Survey Reliability: high medium low August 30, 2023 ©2023 Esri Page 7 of 24

ACS Population Summary

Data Note: N/A means not available Population by Ratio of Income to Poverty Level represents persons for whom poverty status is determined. Household income represents income in 2021, adjusted for inflation

2017-2021 ACS Estimate: The American Community Survey (ACS) replaces census sample data. Esri is releasing the 2017-2021 ACS estimates, five-year period data collected monthly from January 1, 2017 through December 31, 2021. Although the ACS includes many of the subjects previously covered by the decennial census sample, there are significant differences between the two surveys including fundamental differences in survey design and residency rules

Margin of error (MOE): The MOE is a measure of the variability of the estimate due to sampling error. MOEs enable the data user to measure the range of uncertainty for each estimate with 90 percent confidence. The range of uncertainty is called the confidence interval, and it is calculated by taking the estimate +/- the MOE. For example, if the ACS reports an estimate of 100 with an MOE of +/- 20, then you can be 90 percent certain the value for the whole population falls between 80 and 120.

Reliability: These symbols represent threshold values that Esri has established from the Coefficients of Variation (CV) to designate the usability of the estimates. The CV measures the amount of sampling error relative to the size of the estimate, expressed as a percentage

High Reliability: Small CVs (less than or equal to 12 percent) are flagged green to indicate that the sampling error is small relative to the estimate and the estimate is reasonably reliable.

Medium Reliability: Estimates with CVs between 12 and 40 are flagged yellow-use with caution.

Low Reliability: Large CVs (over 40 percent) are flagged red to indicate that the sampling error is large relative to the estimate. The estimate is considered very unreliable.

Source: U.S. Census Bureau, 2017-2021 American Community Survey

Reliability: high medium low

710 NW Maple Ave, Redmond, Oregon, 97756 Prepared by Esri Ring: 1 mile radius Latitude: 44.29071 Longitude: -121.17506 2017-2021 ACS Estimate Percent MOE(±) Reliability HOUSEHOLDS BY OTHER INCOME Social Security Income 1,368 38 2% 138 No Social Security Income 2,211 61.8% 238 Retirement Income 1,020 28 5% 126 No Retirement Income 2,559 71 5% 226 GROSS RENT AS A PERCENTAGE OF HOUSEHOLD INCOME IN THE PAST 12 MONTHS <10% of Income 48 4.9% 55 10-14 9% of Income 93 9.4% 85 15-19 9% of Income 60 6 1% 16 20-24 9% of Income 54 5.5% 45 25-29.9% of Income 120 12.1% 63 30-34 9% of Income 100 10 1% 50 35-39 9% of Income 25 2 5% 27 40-49 9% of Income 114 11 5% 112 50+% of Income 374 37 9% 72 Gross Rent % Inc Not Computed 0 0.0% 0 HOUSEHOLDS BY PUBLIC ASSISTANCE INCOME IN THE PAST 12 MONTHS Total 3,579 100.0% 229 With public assistance income 153 4.3% 83 No public assistance income 3,426 95.7% 221 HOUSEHOLDS BY FOOD STAMPS/SNAP STATUS Total 3,579 100.0% 229 With Food Stamps/SNAP 420 11.7% 71 With No Food Stamps/SNAP 3,159 88.3% 232 HOUSEHOLDS BY DISABILITY STATUS Total 3,579 100.0% 229 With 1+ Persons w/Disability 1,247 34.8% 156 With No Person w/Disability 2,332 65.2% 239
August 30, 2023 ©2023 Esri Page 8 of 24

ACS Population Summary

710 NW Maple Ave, Redmond, Oregon, 97756 Prepared by Esri Ring: 3 mile radius Latitude: 44.29071 Longitude: -121.17506 2017-2021 ACS Estimate Percent MOE(±) Reliability TOTALS Total Population 29,419 1,618 Total Households 11,187 579 Total Housing Units 11,559 598 POPULATION AGE 3+ YEARS BY SCHOOL ENROLLMENT Total 28,363 100.0% 1,592 Enrolled in school 6,347 22 4% 660 Enrolled in nursery school, preschool 439 1 5% 183 Public school 273 1.0% 180 Private school 166 0 6% 63 Enrolled in kindergarten 229 0.8% 107 Public school 225 0 8% 108 Private school 3 0.0% 7 Enrolled in grade 1 to grade 4 1,563 5.5% 320 Public school 1,228 4.3% 300 Private school 336 1 2% 185 Enrolled in grade 5 to grade 8 1,631 5.8% 346 Public school 1,412 5 0% 325 Private school 219 0.8% 117 Enrolled in grade 9 to grade 12 1,535 5 4% 330 Public school 1,394 4.9% 318 Private school 141 0 5% 93 Enrolled in college undergraduate years 816 2.9% 222 Public school 708 2.5% 200 Private school 108 0.4% 100 Enrolled in graduate or professional school 133 0 5% 79 Public school 55 0.2% 50 Private school 78 0.3% 61 Not enrolled in school 22,016 77.6% 1,009 POPULATION AGE 65+ BY RELATIONSHIP AND HOUSEHOLD TYPE Total 4,152 100.0% 472 Living in Households 4,096 98 7% 470 Living in Family Households 2,671 64 3% 408 Householder 1,341 32 3% 229 Spouse 1,004 24 2% 183 Parent 33 0.8% 36 Parent-in-law 126 3 0% 129 Other Relative 104 2.5% 55 Nonrelative 63 1.5% 59 Living in Nonfamily Households 1,425 34 3% 318 Householder 1,339 32.2% 298 Nonrelative 86 2.1% 83 Living in Group Quarters 55 1 3% 44 Source: U.S. Census Bureau, 2017-2021 American Community Survey Reliability: high medium low August 30, 2023 ©2023 Esri Page 9 of 24

ACS Population Summary

710 NW Maple Ave, Redmond, Oregon, 97756 Prepared by Esri Ring: 3 mile radius Latitude: 44.29071 Longitude: -121.17506 2017-2021 ACS Estimate Percent MOE(±) Reliability HOUSEHOLDS BY TYPE AND SIZE Family Households 7,107 63 5% 488 2-Person 2,634 23.5% 341 3-Person 1,924 17 2% 389 4-Person 1,359 12 1% 245 5-Person 763 6 8% 220 6-Person 336 3.0% 146 7+ Person 91 0.8% 48 Nonfamily Households 4,080 36 5% 516 1-Person 2,907 26 0% 435 2-Person 923 8.3% 300 3-Person 223 2 0% 141 4-Person 27 0.2% 64 5-Person 0 0.0% 0 6-Person 0 0.0% 0 7+ Person 0 0.0% 0 HOUSEHOLDS BY PRESENCE OF PEOPLE UNDER 18 YEARS BY HOUSEHOLD TYPE Households with one or more people under 18 years 3,561 31.8% 369 Family households 3,553 31.8% 369 Married-couple family 2,510 22.4% 320 Male householder, no wife present 322 2.9% 98 Female householder, no husband present 722 6.5% 347 Nonfamily households 8 0.1% 17 Households with no people under 18 years 7,626 68.2% 562 Married-couple family 2,865 25.6% 367 Other family 689 6.2% 196 Nonfamily households 4,072 36.4% 516 HOUSEHOLDS BY PRESENCE OF PEOPLE 65 YEARS AND OVER, HOUSEHOLD SIZE AND HOUSEHOLD TYPE Households with Pop 65+ 3,077 27.5% 360 1-Person 1,205 10.8% 298 2+ Person Family 1,728 15.4% 272 2+ Person Nonfamily 143 1.3% 86 Households with No Pop 65+ 8,110 72.5% 572 1-Person 1,702 15.2% 340 2+ Person Family 5,379 48.1% 467 2+ Person Nonfamily 1,029 9.2% 319 HOUSEHOLD
IN HOUSEHOLDS POPULATION IN HOUSEHOLDS Total 29,288 100.0% 1,611 In Family Households 23,600 80 6% 1,603 In Married-Couple Family 17,847 60 9% 1,635 Relatives 17,646 60 2% 1,604 Nonrelatives 202 0.7% 114 In Male Householder-No Spouse Present-Family 1,637 5.6% 433 Relatives 1,130 3 9% 311 Nonrelatives 508 1.7% 156 In Female Householder-No Spouse Present-Family 4,116 14 1% 1,213 Relatives 3,707 12.7% 1,043 Nonrelatives 409 1 4% 279 In Nonfamily Households 5,687 19 4% 844 Source: U.S. Census Bureau, 2017-2021 American Community Survey Reliability: high medium low August 30, 2023 ©2023 Esri Page 10 of 24
TYPE BY RELATIVES AND NONRELATIVES FOR POPULATION

ACS Population Summary

710 NW Maple Ave, Redmond, Oregon, 97756 Prepared by Esri Ring: 3 mile radius Latitude: 44.29071 Longitude: -121.17506 2017-2021 ACS Estimate Percent MOE(±) Reliability POPULATION AGE 5+ YEARS BY LANGUAGE SPOKEN AT HOME AND ABILITY TO SPEAK ENGLISH Total 27,813 100.0% 1,557 5 to 17 years Speak only English 4,245 15 3% 593 Speak Spanish 883 3.2% 435 Speak English "very well" or "well" 771 2.8% 400 Speak English "not well" 112 0.4% 113 Speak English "not at all" 0 0 0% 0 Speak other Indo-European languages 0 0.0% 0 Speak English "very well" or "well" 0 0.0% 0 Speak English "not well" 0 0.0% 0 Speak English "not at all" 0 0 0% 0 Speak Asian and Pacific Island languages 19 0.1% 35 Speak English "very well" or "well" 0 0.0% 0 Speak English "not well" 19 0.1% 35 Speak English "not at all" 0 0 0% 0 Speak other languages 0 0.0% 0 Speak English "very well" or "well" 0 0.0% 0 Speak English "not well" 0 0.0% 0 Speak English "not at all" 0 0 0% 0 18 to 64 years Speak only English 16,214 58.3% 1,119 Speak Spanish 1,885 6.8% 475 Speak English "very well" or "well" 1,399 5 0% 460 Speak English "not well" 423 1.5% 258 Speak English "not at all" 64 0 2% 122 Speak other Indo-European languages 329 1.2% 170 Speak English "very well" or "well" 329 1 2% 170 Speak English "not well" 0 0.0% 0 Speak English "not at all" 0 0 0% 0 Speak Asian and Pacific Island languages 86 0.3% 60 Speak English "very well" or "well" 75 0.3% 52 Speak English "not well" 11 0.0% 25 Speak English "not at all" 0 0 0% 0 Speak other languages 0 0.0% 0 Speak English "very well" or "well" 0 0.0% 0 Speak English "not well" 0 0.0% 0 Speak English "not at all" 0 0 0% 0 65 years and over Speak only English 3,831 13 8% 420 Speak Spanish 123 0.4% 94 Speak English "very well" or "well" 40 0.1% 60 Speak English "not well" 31 0.1% 49 Speak English "not at all" 52 0 2% 78 Speak other Indo-European languages 190 0.7% 204 Speak English "very well" or "well" 190 0 7% 210 Speak English "not well" 0 0.0% 0 Speak English "not at all" 0 0 0% 0 Speak Asian and Pacific Island languages 7 0.0% 13 Speak English "very well" or "well" 7 0.0% 13 Speak English "not well" 0 0.0% 0 Speak English "not at all" 0 0 0% 0 Speak other languages 0 0.0% 0 Speak English "very well" or "well" 0 0.0% 0 Speak English "not well" 0 0.0% 0 Speak English "not at all" 0 0 0% 0 Source: U.S. Census Bureau, 2017-2021 American Community Survey Reliability: high medium low August 30, 2023 ©2023 Esri Page 11 of 24
710 NW Maple Ave, Redmond, Oregon, 97756 Prepared by Esri Ring: 3 mile radius Latitude: 44.29071 Longitude: -121.17506 2017-2021 ACS Estimate Percent MOE(±) Reliability WORKERS AGE 16+ YEARS BY PLACE OF WORK Total 14,435 100.0% 1,014 Worked in state and in county of residence 13,357 92.5% 1,001 Worked in state and outside county of residence 969 6 7% 316 Worked outside state of residence 109 0.8% 54 SEX BY CLASS OF WORKER FOR THE CIVILIAN EMPLOYED POPULATION 16 YEARS AND OVER Total: 14,790 100.0% 1,035 Male: 7,502 50 7% 660 Employee of private company workers 5,328 36 0% 638 Self-employed in own incorporated business workers 527 3.6% 213 Private not-for-profit wage and salary workers 239 1.6% 115 Local government workers 294 2.0% 142 State government workers 160 1 1% 100 Federal government workers 214 1.4% 100 Self-employed in own not incorporated business workers 740 5 0% 302 Unpaid family workers 0 0.0% 0 Female: 7,289 49 3% 618 Employee of private company workers 4,434 30 0% 548 Self-employed in own incorporated business workers 381 2 6% 156 Private not-for-profit wage and salary workers 1,140 7.7% 279 Local government workers 629 4.3% 209 State government workers 183 1.2% 116 Federal government workers 97 0.7% 51 Self-employed in own not incorporated business workers 406 2.7% 139 Unpaid family workers 20 0 1% 24 POPULATION IN HOUSEHOLDS AND PRESENCE OF A COMPUTER Total 29,288 100.0% 1,611 Population <18 in Households 6,753 23 1% 703 Have a Computer 6,644 22 7% 700 Have NO Computer 109 0.4% 147 Population 18-64 in Households 18,439 63 0% 1,207 Have a Computer 18,188 62 1% 1,216 Have NO Computer 251 0.9% 165 Population 65+ in Households 4,096 14 0% 470 Have a Computer 3,920 13.4% 461 Have NO Computer 177 0 6% 101 HOUSEHOLDS AND INTERNET SUBSCRIPTIONS Total 11,187 100.0% 579 With an Internet Subscription 10,308 92.1% 578 Dial-Up Alone 65 0 6% 53 Broadband 8,094 72 4% 598 Satellite Service 1,219 10 9% 319 Other Service 60 0 5% 40 Internet Access with no Subscription 125 1.1% 63 With No Internet Access 753 6 7% 240 Source: U.S. Census Bureau, 2017-2021 American Community Survey Reliability: high medium low August 30, 2023 ©2023 Esri Page 12 of 24
ACS Population Summary

ACS Population Summary

FEMALES AGE 20-64 YEARS BY AGE OF OWN CHILDREN AND EMPLOYMENT STATUS

710 NW Maple Ave, Redmond, Oregon, 97756 Prepared by Esri Ring: 3 mile radius Latitude: 44.29071 Longitude: -121.17506 2017-2021 ACS Estimate Percent MOE(±) Reliability WORKERS AGE 16+ YEARS BY MEANS OF TRANSPORTATION TO WORK Total 14,435 100.0% 1,014 Drove alone 11,114 77 0% 947 Carpooled 1,479 10 2% 261 Public transportation (excluding taxicab) 107 0.7% 107 Bus or trolley bus 107 0 7% 107 Light rail, streetcar or trolley 0 0.0% 0 Subway or elevated 0 0.0% 0 Long-distance/Commuter Train 0 0.0% 0 Ferryboat 0 0.0% 0 Taxicab 35 0.2% 47 Motorcycle 15 0.1% 25 Bicycle 29 0.2% 33 Walked 221 1 5% 111 Other means 186 1.3% 232 Worked at home 1,248 8 6% 297
AGE
HOME) BY TRAVEL TIME TO WORK Total 13,187 100.0% 975 Less than 5 minutes 540 4.1% 193 5 to 9 minutes 2,249 17.1% 450 10 to 14 minutes 2,269 17 2% 393 15 to 19 minutes 1,156 8 8% 268 20 to 24 minutes 1,588 12 0% 384 25 to 29 minutes 1,754 13 3% 593 30 to 34 minutes 2,326 17.6% 400 35 to 39 minutes 330 2 5% 152 40 to 44 minutes 359 2.7% 116 45 to 59 minutes 289 2 2% 143 60 to 89 minutes 163 1.2% 126 90 or more minutes 164 1 2% 104 Average Travel Time to Work (in minutes) N/A N/A
WORKERS
16+ YEARS (WHO DID NOT WORK FROM
Total 9,463 100.0% 680 Own children under 6 years only 1,023 10.8% 357 In labor force 836 8 8% 348 Not in labor force 186 2.0% 109 Own children under 6 years and 6 to 17 years 493 5 2% 167 In labor force 320 3.4% 153 Not in labor force 173 1 8% 111 Own children 6 to 17 years only 1,949 20.6% 307 In labor force 1,620 17 1% 280 Not in labor force 329 3.5% 128 No own children under 18 years 5,998 63 4% 623 In labor force 4,692 49.6% 587 Not in labor force 1,306 13 8% 238 Source:
Community
Reliability: high medium low August 30, 2023 ©2023 Esri Page 13 of 24
U.S. Census Bureau, 2017-2021 American
Survey
710 NW Maple Ave, Redmond, Oregon, 97756 Prepared by Esri Ring: 3 mile radius Latitude: 44.29071 Longitude: -121.17506 2017-2021 ACS Estimate Percent MOE(±) Reliability CIVILIAN NONINSTITUTIONALIZED POPULATION BY AGE & TYPES OHEALINSURANCE COVERAGE OF HEALTH INSURANCE COVERAGE Total 29,380 100.0% 1,617 Under 19 years: 7,106 24 2% 724 One Type of Health Insurance: 6,658 22 7% 687 Employer-Based Health Ins Only 2,127 7.2% 514 Direct-Purchase Health Ins Only 526 1 8% 273 Medicare Coverage Only 0 0.0% 0 Medicaid Coverage Only 3,817 13 0% 553 TRICARE/Military Hlth Cov Only 187 0.6% 167 VA Health Care Only 0 0.0% 0 2+ Types of Health Insurance 352 1.2% 196 No Health Insurance Coverage 96 0.3% 79 19 to 34 years: 6,339 21.6% 862 One Type of Health Insurance: 5,016 17.1% 645 Employer-Based Health Ins Only 3,265 11 1% 542 Direct-Purchase Health Ins Only 459 1 6% 275 Medicare Coverage Only 0 0.0% 0 Medicaid Coverage Only 1,213 4 1% 323 TRICARE/Military Hlth Cov Only 74 0.3% 49 VA Health Care Only 6 0 0% 16 2+ Types of Health Insurance 669 2.3% 342 No Health Insurance Coverage 655 2 2% 295 35 to 64 years: 11,806 40 2% 881 One Type of Health Insurance: 8,536 29 1% 786 Employer-Based Health Ins Only 5,368 18 3% 641 Direct-Purchase Health Ins Only 1,217 4 1% 320 Medicare Coverage Only 211 0.7% 91 Medicaid Coverage Only 1,570 5 3% 348 TRICARE/Military Hlth Cov Only 94 0.3% 64 VA Health Care Only 76 0 3% 50 2+ Types of Health Insurance 1,886 6.4% 431 No Health Insurance Coverage 1,385 4.7% 345 65+ years: 4,129 14.1% 470 One Type of Health Insurance: 1,226 4.2% 270 Employer-Based Health Ins Only 58 0.2% 56 Direct-Purchase Health Ins Only 0 0.0% 0 Medicare Coverage Only 1,168 4.0% 267 TRICARE/Military Hlth Cov Only 0 0 0% 0 VA Health Care Only 0 0.0% 0 2+ Types of Health Insurance: 2,896 9 9% 437 Employer-Based & Direct-Purchase Health Insurance 0 0.0% 0 Employer-Based Health & Medicare Insurance 390 1 3% 150 Direct-Purchase Health & Medicare Insurance 1,336 4.5% 383 Medicare & Medicaid Coverage 258 0 9% 135 Other Private Health Insurance Combos 0 0.0% 0 Other Public Health Insurance Combos 48 0.2% 28 Other Health Insurance Combinations 865 2.9% 184 No Health Insurance Coverage 7 0.0% 13 Source: U.S. Census Bureau, 2017-2021 American Community Survey Reliability: high medium low August 30, 2023 ©2023 Esri Page 14 of 24
ACS Population Summary

ACS Population Summary

CIVILIAN POPULATION AGE 18 OR OLDER BY VETERAN STATUS

CIVILIAN VETERANS AGE 18 OR OLDER BY PERIOD OF MILITARY SERVICE

710 NW Maple Ave, Redmond, Oregon, 97756 Prepared by Esri Ring: 3 mile radius Latitude: 44.29071 Longitude: -121.17506 2017-2021 ACS Estimate Percent MOE(±) Reliability POPULATION BY RATIO OF INCOME TO POVERTY LEVEL Total 29,293 100.0% 1,614 Under 50 1,209 4.1% 418 50 to 99 1,376 4 7% 305 1 00 to 1 24 1,152 3.9% 625 1 25 to 1 49 2,545 8 7% 953 1 50 to 1 84 2,106 7.2% 642 1 85 to 1 99 614 2 1% 528 2 00 and over 20,292 69 3% 1,441
Total 22,657 100.0% 1,234 Veteran 1,835 8.1% 343 Nonveteran 20,822 91.9% 1,117 Male 10,408 45 9% 718 Veteran 1,637 7 2% 329 Nonveteran 8,771 38 7% 649 Female 12,249 54.1% 741 Veteran 198 0.9% 106 Nonveteran 12,051 53 2% 740
Total 1,835 100.0% 343 Gulf War (9/01 or later), no Gulf War (8/90 to 8/01), no Vietnam Era 387 21 1% 228 Gulf War (9/01 or later) and Gulf War (8/90 to 8/01), no Vietnam Era 52 2.8% 40 Gulf War (9/01 or later), and Gulf War (8/90 to 8/01), and Vietnam Era 0 0.0% 0 Gulf War (8/90 to 8/01), no Vietnam Era 243 13.2% 135 Gulf War (8/90 to 8/01) and Vietnam Era 0 0.0% 0 Vietnam Era, no Korean War, no World War II 540 29 4% 135 Vietnam Era and Korean War, no World War II 0 0.0% 1 Vietnam Era and Korean War and World War II 0 0.0% 0 Korean War, no Vietnam Era, no World War II 49 2.7% 31 Korean War and World War II, no Vietnam Era 0 0 0% 0 World War II, no Korean War, no Vietnam Era 15 0.8% 58 Between Gulf War and Vietnam Era only 481 26 2% 197 Between Vietnam Era and Korean War only 67 3.7% 43 Between Korean War and World War II only 0 0.0% 0 Pre-World War II only 0 0.0% 0
Total 11,187 100.0% 579 Income in the past 12 months below poverty level 1,143 10.2% 267 Married-couple family 147 1 3% 71 Other family - male householder (no wife present) 52 0.5% 79 Other family - female householder (no husband present) 194 1 7% 98 Nonfamily household - male householder 270 2.4% 159 Nonfamily household - female householder 480 4.3% 188 Income in the past 12 months at or above poverty level 10,044 89 8% 564 Married-couple family 5,228 46 7% 488 Other family - male householder (no wife present) 373 3.3% 111 Other family - female householder (no husband present) 1,113 9.9% 386 Nonfamily household - male householder 1,127 10.1% 280 Nonfamily household - female householder 2,203 19 7% 406 Poverty Index 82 Source: U.S. Census Bureau, 2017-2021 American Community Survey Reliability: high medium low August 30, 2023 ©2023 Esri Page 15 of 24
HOUSEHOLDS BY POVERTY STATUS

ACS Population Summary

Data Note: N/A means not available Population by Ratio of Income to Poverty Level represents persons for whom poverty status is determined. Household income represents income in 2021, adjusted for inflation

2017-2021 ACS Estimate: The American Community Survey (ACS) replaces census sample data. Esri is releasing the 2017-2021 ACS estimates, five-year period data collected monthly from January 1, 2017 through December 31, 2021. Although the ACS includes many of the subjects previously covered by the decennial census sample, there are significant differences between the two surveys including fundamental differences in survey design and residency rules

Margin of error (MOE): The MOE is a measure of the variability of the estimate due to sampling error. MOEs enable the data user to measure the range of uncertainty for each estimate with 90 percent confidence. The range of uncertainty is called the confidence interval, and it is calculated by taking the estimate +/- the MOE. For example, if the ACS reports an estimate of 100 with an MOE of +/- 20, then you can be 90 percent certain the value for the whole population falls between 80 and 120.

Reliability: These symbols represent threshold values that Esri has established from the Coefficients of Variation (CV) to designate the usability of the estimates. The CV measures the amount of sampling error relative to the size of the estimate, expressed as a percentage

High Reliability: Small CVs (less than or equal to 12 percent) are flagged green to indicate that the sampling error is small relative to the estimate and the estimate is reasonably reliable.

Medium Reliability: Estimates with CVs between 12 and 40 are flagged yellow-use with caution.

Low Reliability: Large CVs (over 40 percent) are flagged red to indicate that the sampling error is large relative to the estimate. The estimate is considered very unreliable.

Source: U.S. Census Bureau, 2017-2021 American Community Survey

Reliability: high medium low

710 NW Maple Ave, Redmond, Oregon, 97756 Prepared by Esri Ring: 3 mile radius Latitude: 44.29071 Longitude: -121.17506 2017-2021 ACS Estimate Percent MOE(±) Reliability HOUSEHOLDS BY OTHER INCOME Social Security Income 3,665 32 8% 417 No Social Security Income 7,522 67.2% 563 Retirement Income 2,297 20 5% 305 No Retirement Income 8,890 79 5% 592 GROSS RENT AS A PERCENTAGE OF HOUSEHOLD INCOME IN THE PAST 12 MONTHS <10% of Income 142 3 9% 125 10-14 9% of Income 285 7.8% 108 15-19 9% of Income 562 15 3% 238 20-24 9% of Income 383 10 4% 152 25-29.9% of Income 461 12.6% 190 30-34 9% of Income 296 8.1% 106 35-39 9% of Income 387 10 5% 271 40-49 9% of Income 296 8.1% 175 50+% of Income 811 22 1% 229 Gross Rent % Inc Not Computed 46 1.3% 42 HOUSEHOLDS BY PUBLIC ASSISTANCE INCOME IN THE PAST 12 MONTHS Total 11,187 100.0% 579 With public assistance income 383 3.4% 151 No public assistance income 10,804 96.6% 583 HOUSEHOLDS BY FOOD STAMPS/SNAP STATUS Total 11,187 100.0% 579 With Food Stamps/SNAP 1,798 16.1% 287 With No Food Stamps/SNAP 9,389 83.9% 562 HOUSEHOLDS BY DISABILITY STATUS Total 11,187 100.0% 579 With 1+ Persons w/Disability 3,155 28.2% 390 With No Person w/Disability 8,032 71.8% 613
August 30, 2023 ©2023 Esri Page 16 of 24

ACS Population Summary

710 NW Maple Ave, Redmond, Oregon, 97756 Prepared by Esri Ring: 5 mile radius Latitude: 44.29071 Longitude: -121.17506 2017-2021 ACS Estimate Percent MOE(±) Reliability TOTALS Total Population 40,549 2,422 Total Households 15,726 790 Total Housing Units 16,178 802 POPULATION AGE 3+ YEARS BY SCHOOL ENROLLMENT Total 39,273 100.0% 2,357 Enrolled in school 8,224 20 9% 998 Enrolled in nursery school, preschool 601 1 5% 242 Public school 359 0.9% 192 Private school 242 0 6% 150 Enrolled in kindergarten 247 0.6% 179 Public school 236 0 6% 179 Private school 11 0.0% 24 Enrolled in grade 1 to grade 4 1,897 4.8% 528 Public school 1,453 3.7% 427 Private school 444 1 1% 320 Enrolled in grade 5 to grade 8 2,154 5.5% 413 Public school 1,913 4 9% 385 Private school 241 0.6% 145 Enrolled in grade 9 to grade 12 1,888 4 8% 446 Public school 1,746 4.4% 436 Private school 142 0 4% 97 Enrolled in college undergraduate years 1,255 3.2% 306 Public school 1,105 2.8% 290 Private school 150 0.4% 102 Enrolled in graduate or professional school 183 0 5% 82 Public school 55 0.1% 50 Private school 127 0 3% 66 Not enrolled in school 31,049 79.1% 1,436 POPULATION AGE 65+ BY RELATIONSHIP AND HOUSEHOLD TYPE Total 7,091 100.0% 608 Living in Households 6,972 98 3% 605 Living in Family Households 4,906 69 2% 553 Householder 2,528 35 7% 300 Spouse 1,906 26 9% 252 Parent 49 0.7% 39 Parent-in-law 126 1 8% 129 Other Relative 211 3.0% 101 Nonrelative 86 1.2% 82 Living in Nonfamily Households 2,066 29 1% 348 Householder 1,937 27.3% 330 Nonrelative 129 1.8% 86 Living in Group Quarters 119 1 7% 73 Source: U.S. Census Bureau, 2017-2021 American Community Survey Reliability: high medium low August 30, 2023 ©2023 Esri Page 17 of 24

ACS Population Summary

710 NW Maple Ave, Redmond, Oregon, 97756 Prepared by Esri Ring: 5 mile radius Latitude: 44.29071 Longitude: -121.17506 2017-2021 ACS Estimate Percent MOE(±) Reliability HOUSEHOLDS BY TYPE AND SIZE Family Households 10,286 65.4% 701 2-Person 4,425 28.1% 463 3-Person 2,757 17 5% 490 4-Person 1,703 10 8% 425 5-Person 814 5 2% 256 6-Person 451 2.9% 217 7+ Person 137 0.9% 98 Nonfamily Households 5,440 34 6% 601 1-Person 3,924 25 0% 485 2-Person 1,198 7.6% 358 3-Person 263 1 7% 168 4-Person 54 0.3% 68 5-Person 0 0.0% 0 6-Person 0 0.0% 0 7+ Person 0 0.0% 0 HOUSEHOLDS BY PRESENCE OF PEOPLE UNDER 18 YEARS BY HOUSEHOLD TYPE Households with one or more people under 18 years 4,614 29.3% 569 Family households 4,587 29.2% 569 Married-couple family 3,216 20.5% 531 Male householder, no wife present 521 3.3% 186 Female householder, no husband present 850 5.4% 357 Nonfamily households 26 0.2% 49 Households with no people under 18 years 11,113 70.7% 693 Married-couple family 4,729 30.1% 464 Other family 970 6.2% 291 Nonfamily households 5,414 34.4% 601 HOUSEHOLDS BY PRESENCE OF PEOPLE 65 YEARS AND OVER, HOUSEHOLD SIZE AND HOUSEHOLD TYPE Households with Pop 65+ 4,952 31.5% 429 1-Person 1,728 11.0% 313 2+ Person Family 3,007 19.1% 340 2+ Person Nonfamily 217 1.4% 136 Households with No Pop 65+ 10,774 68.5% 790 1-Person 2,196 14.0% 396 2+ Person Family 7,279 46.3% 690 2+ Person Nonfamily 1,299 8.3% 378 HOUSEHOLD
IN HOUSEHOLDS POPULATION IN HOUSEHOLDS Total 40,328 100.0% 2,417 In Family Households 32,826 81 4% 2,416 In Married-Couple Family 25,227 62 6% 2,395 Relatives 24,848 61 6% 2,369 Nonrelatives 379 0.9% 135 In Male Householder-No Spouse Present-Family 2,355 5.8% 772 Relatives 1,697 4 2% 519 Nonrelatives 658 1.6% 368 In Female Householder-No Spouse Present-Family 5,244 13 0% 1,402 Relatives 4,771 11.8% 1,256 Nonrelatives 473 1 2% 284 In Nonfamily Households 7,503 18 6% 1,019 Source: U.S. Census Bureau, 2017-2021 American Community Survey Reliability: high medium low August 30, 2023 ©2023 Esri Page 18 of 24
TYPE BY RELATIVES AND NONRELATIVES FOR POPULATION

ACS Population Summary

710 NW Maple Ave, Redmond, Oregon, 97756 Prepared by Esri Ring: 5 mile radius Latitude: 44.29071 Longitude: -121.17506 2017-2021 ACS Estimate Percent MOE(±) Reliability POPULATION AGE 5+ YEARS BY LANGUAGE SPOKEN AT HOME AND ABILITY TO SPEAK ENGLISH Total 38,484 100.0% 2,305 5 to 17 years Speak only English 5,431 14 1% 929 Speak Spanish 1,034 2.7% 464 Speak English "very well" or "well" 922 2.4% 431 Speak English "not well" 112 0.3% 113 Speak English "not at all" 0 0 0% 0 Speak other Indo-European languages 0 0.0% 0 Speak English "very well" or "well" 0 0.0% 0 Speak English "not well" 0 0.0% 0 Speak English "not at all" 0 0 0% 0 Speak Asian and Pacific Island languages 19 0.0% 35 Speak English "very well" or "well" 0 0.0% 0 Speak English "not well" 19 0.0% 35 Speak English "not at all" 0 0 0% 0 Speak other languages 0 0.0% 0 Speak English "very well" or "well" 0 0.0% 0 Speak English "not well" 0 0.0% 0 Speak English "not at all" 0 0 0% 0 18 to 64 years Speak only English 22,176 57.6% 1,600 Speak Spanish 2,171 5.6% 627 Speak English "very well" or "well" 1,541 4 0% 529 Speak English "not well" 532 1.4% 316 Speak English "not at all" 98 0 3% 122 Speak other Indo-European languages 448 1.2% 231 Speak English "very well" or "well" 448 1 2% 230 Speak English "not well" 0 0.0% 0 Speak English "not at all" 0 0 0% 0 Speak Asian and Pacific Island languages 114 0.3% 87 Speak English "very well" or "well" 97 0.3% 76 Speak English "not well" 17 0.0% 27 Speak English "not at all" 0 0 0% 0 Speak other languages 0 0.0% 0 Speak English "very well" or "well" 0 0.0% 0 Speak English "not well" 0 0.0% 0 Speak English "not at all" 0 0 0% 0 65 years and over Speak only English 6,613 17 2% 563 Speak Spanish 222 0.6% 119 Speak English "very well" or "well" 136 0 4% 90 Speak English "not well" 34 0.1% 49 Speak English "not at all" 52 0 1% 78 Speak other Indo-European languages 190 0.5% 204 Speak English "very well" or "well" 190 0 5% 210 Speak English "not well" 0 0.0% 0 Speak English "not at all" 0 0 0% 0 Speak Asian and Pacific Island languages 66 0.2% 53 Speak English "very well" or "well" 52 0.1% 67 Speak English "not well" 15 0.0% 38 Speak English "not at all" 0 0 0% 0 Speak other languages 0 0.0% 0 Speak English "very well" or "well" 0 0.0% 0 Speak English "not well" 0 0.0% 0 Speak English "not at all" 0 0 0% 0 Source: U.S. Census Bureau, 2017-2021 American Community Survey Reliability: high medium low August 30, 2023 ©2023 Esri Page 19 of 24
710 NW Maple Ave, Redmond, Oregon, 97756 Prepared by Esri Ring: 5 mile radius Latitude: 44.29071 Longitude: -121.17506 2017-2021 ACS Estimate Percent MOE(±) Reliability WORKERS AGE 16+ YEARS BY PLACE OF WORK Total 19,642 100.0% 1,435 Worked in state and in county of residence 17,949 91.4% 1,426 Worked in state and outside county of residence 1,457 7 4% 362 Worked outside state of residence 236 1.2% 99 SEX BY CLASS OF WORKER FOR THE CIVILIAN EMPLOYED POPULATION 16 YEARS AND OVER Total: 20,018 100.0% 1,454 Male: 10,350 51 7% 870 Employee of private company workers 7,183 35 9% 828 Self-employed in own incorporated business workers 902 4.5% 241 Private not-for-profit wage and salary workers 365 1.8% 123 Local government workers 370 1.8% 143 State government workers 240 1 2% 107 Federal government workers 245 1.2% 146 Self-employed in own not incorporated business workers 1,041 5 2% 407 Unpaid family workers 4 0.0% 20 Female: 9,668 48 3% 896 Employee of private company workers 5,892 29 4% 798 Self-employed in own incorporated business workers 508 2 5% 180 Private not-for-profit wage and salary workers 1,361 6.8% 389 Local government workers 920 4.6% 280 State government workers 285 1.4% 125 Federal government workers 103 0 5% 86 Self-employed in own not incorporated business workers 571 2.9% 224 Unpaid family workers 28 0 1% 26 POPULATION IN HOUSEHOLDS AND PRESENCE OF A COMPUTER Total 40,328 100.0% 2,417 Population <18 in Households 8,548 21 2% 1,097 Have a Computer 8,434 20 9% 1,097 Have NO Computer 114 0.3% 149 Population 18-64 in Households 24,808 61 5% 1,694 Have a Computer 24,477 60 7% 1,701 Have NO Computer 331 0.8% 168 Population 65+ in Households 6,972 17 3% 605 Have a Computer 6,486 16.1% 596 Have NO Computer 486 1 2% 208 HOUSEHOLDS AND INTERNET SUBSCRIPTIONS Total 15,726 100.0% 790 With an Internet Subscription 14,425 91.7% 785 Dial-Up Alone 83 0 5% 81 Broadband 11,386 72 4% 789 Satellite Service 1,769 11 2% 360 Other Service 90 0 6% 60 Internet Access with no Subscription 196 1.2% 71 With No Internet Access 1,105 7 0% 273 Source: U.S. Census Bureau, 2017-2021 American Community Survey Reliability: high medium low August 30, 2023 ©2023 Esri Page 20 of 24
ACS Population Summary

ACS Population Summary

710 NW Maple Ave, Redmond, Oregon, 97756 Prepared by Esri Ring: 5 mile radius Latitude: 44.29071 Longitude: -121.17506 2017-2021 ACS Estimate Percent MOE(±) Reliability WORKERS AGE 16+ YEARS BY MEANS OF TRANSPORTATION TO WORK Total 19,642 100.0% 1,435 Drove alone 14,747 75 1% 1,303 Carpooled 1,920 9 8% 445 Public transportation (excluding taxicab) 134 0.7% 131 Bus or trolley bus 134 0 7% 131 Light rail, streetcar or trolley 0 0.0% 0 Subway or elevated 0 0.0% 0 Long-distance/Commuter Train 0 0.0% 0 Ferryboat 0 0.0% 0 Taxicab 57 0.3% 81 Motorcycle 92 0.5% 104 Bicycle 141 0.7% 134 Walked 279 1 4% 117 Other means 204 1.0% 232 Worked at home 2,069 10 5% 410
BY TRAVEL TIME TO WORK Total 17,572 100.0% 1,364 Less than 5 minutes 846 4.8% 238 5 to 9 minutes 2,700 15.4% 539 10 to 14 minutes 2,936 16 7% 589 15 to 19 minutes 1,800 10 2% 327 20 to 24 minutes 2,287 13 0% 529 25 to 29 minutes 2,158 12 3% 703 30 to 34 minutes 2,944 16.8% 502 35 to 39 minutes 428 2 4% 168 40 to 44 minutes 539 3.1% 174 45 to 59 minutes 435 2 5% 154 60 to 89 minutes 279 1.6% 141 90 or more minutes 220 1 3% 121 Average Travel Time to Work (in minutes) N/A N/A
AGE 20-64 YEARS BY AGE OF OWN CHILDREN AND EMPLOYMENT STATUS Total 12,546 100.0% 973 Own children under 6 years only 1,248 9.9% 412 In labor force 1,044 8 3% 385 Not in labor force 204 1.6% 153 Own children under 6 years and 6 to 17 years 698 5 6% 292 In labor force 447 3.6% 227 Not in labor force 251 2 0% 185 Own children 6 to 17 years only 2,380 19.0% 494 In labor force 1,978 15 8% 461 Not in labor force 402 3.2% 179 No own children under 18 years 8,220 65 5% 851 In labor force 6,274 50.0% 795 Not in labor force 1,945 15 5% 351 Source: U.S. Census Bureau, 2017-2021 American Community Survey Reliability: high medium low August 30, 2023 ©2023 Esri Page 21 of 24
WORKERS AGE 16+ YEARS (WHO DID NOT WORK FROM HOME)
FEMALES
710 NW Maple Ave, Redmond, Oregon, 97756 Prepared by Esri Ring: 5 mile radius Latitude: 44.29071 Longitude: -121.17506 2017-2021 ACS Estimate Percent MOE(±) Reliability CIVILIAN NONINSTITUTIONALIZED POPULATION BY AGE & TYPES OHEALINSURANCE COVERAGE OF HEALTH INSURANCE COVERAGE Total 40,462 100.0% 2,421 Under 19 years: 9,110 22 5% 1,134 One Type of Health Insurance: 8,381 20 7% 1,101 Employer-Based Health Ins Only 2,859 7.1% 626 Direct-Purchase Health Ins Only 682 1 7% 399 Medicare Coverage Only 0 0.0% 0 Medicaid Coverage Only 4,644 11 5% 875 TRICARE/Military Hlth Cov Only 196 0.5% 231 VA Health Care Only 0 0.0% 0 2+ Types of Health Insurance 596 1.5% 276 No Health Insurance Coverage 133 0.3% 99 19 to 34 years: 7,994 19.8% 1,042 One Type of Health Insurance: 6,383 15.8% 828 Employer-Based Health Ins Only 4,131 10 2% 663 Direct-Purchase Health Ins Only 595 1 5% 319 Medicare Coverage Only 0 0.0% 0 Medicaid Coverage Only 1,546 3 8% 425 TRICARE/Military Hlth Cov Only 96 0.2% 89 VA Health Care Only 14 0 0% 20 2+ Types of Health Insurance 833 2.1% 358 No Health Insurance Coverage 779 1 9% 324 35 to 64 years: 16,299 40 3% 1,361 One Type of Health Insurance: 11,784 29 1% 1,161 Employer-Based Health Ins Only 7,660 18 9% 1,020 Direct-Purchase Health Ins Only 1,682 4 2% 472 Medicare Coverage Only 217 0.5% 125 Medicaid Coverage Only 2,023 5 0% 474 TRICARE/Military Hlth Cov Only 109 0.3% 81 VA Health Care Only 93 0 2% 74 2+ Types of Health Insurance 2,529 6.3% 570 No Health Insurance Coverage 1,986 4.9% 518 65+ years: 7,059 17.4% 605 One Type of Health Insurance: 2,506 6.2% 395 Employer-Based Health Ins Only 102 0.3% 57 Direct-Purchase Health Ins Only 0 0.0% 0 Medicare Coverage Only 2,403 5.9% 393 TRICARE/Military Hlth Cov Only 0 0 0% 0 VA Health Care Only 0 0.0% 0 2+ Types of Health Insurance: 4,546 11 2% 513 Employer-Based & Direct-Purchase Health Insurance 0 0.0% 0 Employer-Based Health & Medicare Insurance 691 1 7% 166 Direct-Purchase Health & Medicare Insurance 1,889 4.7% 409 Medicare & Medicaid Coverage 370 0 9% 162 Other Private Health Insurance Combos 0 0.0% 0 Other Public Health Insurance Combos 143 0 4% 71 Other Health Insurance Combinations 1,453 3.6% 262 No Health Insurance Coverage 7 0.0% 13 Source: U.S. Census Bureau, 2017-2021 American Community Survey Reliability: high medium low August 30, 2023 ©2023 Esri Page 22 of 24
ACS Population Summary

ACS

Summary

CIVILIAN POPULATION AGE 18 OR OLDER BY VETERAN STATUS

CIVILIAN VETERANS AGE 18 OR OLDER BY PERIOD OF MILITARY SERVICE

Ave,
Oregon, 97756 Prepared by Esri
5 mile radius Latitude: 44.29071 Longitude: -121.17506 2017-2021 ACS Estimate Percent MOE(±) Reliability POPULATION BY RATIO OF INCOME TO POVERTY LEVEL Total 40,297 100.0% 2,418 Under 50 1,607 4.0% 442 50 to 99 1,931 4 8% 610 1 00 to 1 24 1,548 3.8% 645 1 25 to 1 49 3,162 7 8% 1,167 1 50 to 1 84 2,699 6.7% 955 1 85 to 1 99 831 2 1% 536 2 00 and over 28,520 70 8% 2,181
Population
710 NW Maple
Redmond,
Ring:
Total 31,952 100.0% 1,709 Veteran 2,804 8.8% 439 Nonveteran 29,148 91.2% 1,604 Male 14,783 46 3% 959 Veteran 2,565 8 0% 393 Nonveteran 12,218 38 2% 907 Female 17,169 53.7% 1,054 Veteran 239 0.7% 188 Nonveteran 16,930 53 0% 1,039
Total 2,804 100.0% 439 Gulf War (9/01 or later), no Gulf War (8/90 to 8/01), no Vietnam Era 548 19 5% 296 Gulf War (9/01 or later) and Gulf War (8/90 to 8/01), no Vietnam Era 71 2.5% 46 Gulf War (9/01 or later), and Gulf War (8/90 to 8/01), and Vietnam Era 0 0.0% 0 Gulf War (8/90 to 8/01), no Vietnam Era 256 9.1% 137 Gulf War (8/90 to 8/01) and Vietnam Era 3 0.1% 18 Vietnam Era, no Korean War, no World War II 964 34 4% 187 Vietnam Era and Korean War, no World War II 5 0.2% 18 Vietnam Era and Korean War and World War II 0 0.0% 0 Korean War, no Vietnam Era, no World War II 163 5.8% 76 Korean War and World War II, no Vietnam Era 0 0 0% 0 World War II, no Korean War, no Vietnam Era 35 1.2% 60 Between Gulf War and Vietnam Era only 559 19 9% 242 Between Vietnam Era and Korean War only 199 7.1% 52 Between Korean War and World War II only 0 0.0% 0 Pre-World War II only 0 0.0% 0 HOUSEHOLDS BY POVERTY STATUS Total 15,726 100.0% 790 Income in the past 12 months below poverty level 1,506 9.6% 333 Married-couple family 224 1 4% 127 Other family - male householder (no wife present) 107 0.7% 92 Other family - female householder (no husband present) 265 1 7% 112 Nonfamily household - male householder 305 1.9% 173 Nonfamily household - female householder 605 3.8% 216 Income in the past 12 months at or above poverty level 14,220 90 4% 780 Married-couple family 7,721 49 1% 684 Other family - male householder (no wife present) 561 3.6% 187 Other family - female householder (no husband present) 1,409 9.0% 442 Nonfamily household - male householder 1,653 10.5% 328 Nonfamily household - female householder 2,876 18 3% 475 Poverty Index 77 Source: U.S. Census Bureau, 2017-2021 American Community Survey Reliability: high medium low August 30, 2023 ©2023 Esri Page 23 of 24

ACS Population Summary

Data Note: N/A means not available Population by Ratio of Income to Poverty Level represents persons for whom poverty status is determined. Household income represents income in 2021, adjusted for inflation

2017-2021 ACS Estimate: The American Community Survey (ACS) replaces census sample data. Esri is releasing the 2017-2021 ACS estimates, five-year period data collected monthly from January 1, 2017 through December 31, 2021. Although the ACS includes many of the subjects previously covered by the decennial census sample, there are significant differences between the two surveys including fundamental differences in survey design and residency rules

Margin of error (MOE): The MOE is a measure of the variability of the estimate due to sampling error. MOEs enable the data user to measure the range of uncertainty for each estimate with 90 percent confidence. The range of uncertainty is called the confidence interval, and it is calculated by taking the estimate +/- the MOE. For example, if the ACS reports an estimate of 100 with an MOE of +/- 20, then you can be 90 percent certain the value for the whole population falls between 80 and 120.

Reliability: These symbols represent threshold values that Esri has established from the Coefficients of Variation (CV) to designate the usability of the estimates. The CV measures the amount of sampling error relative to the size of the estimate, expressed as a percentage

High Reliability: Small CVs (less than or equal to 12 percent) are flagged green to indicate that the sampling error is small relative to the estimate and the estimate is reasonably reliable.

Medium Reliability: Estimates with CVs between 12 and 40 are flagged yellow-use with caution.

Low Reliability: Large CVs (over 40 percent) are flagged red to indicate that the sampling error is large relative to the estimate. The estimate is considered very unreliable.

Source: U.S. Census Bureau, 2017-2021 American Community Survey

Reliability: high medium low

710 NW Maple Ave, Redmond, Oregon, 97756 Prepared by Esri Ring: 5 mile radius Latitude: 44.29071 Longitude: -121.17506 2017-2021 ACS Estimate Percent MOE(±) Reliability HOUSEHOLDS BY OTHER INCOME Social Security Income 5,699 36 2% 515 No Social Security Income 10,027 63.8% 760 Retirement Income 3,458 22 0% 392 No Retirement Income 12,268 78 0% 798 GROSS RENT AS A PERCENTAGE OF HOUSEHOLD INCOME IN THE PAST 12 MONTHS <10% of Income 146 3 1% 127 10-14 9% of Income 420 8.8% 226 15-19 9% of Income 609 12 8% 247 20-24 9% of Income 499 10 5% 189 25-29.9% of Income 517 10.9% 224 30-34 9% of Income 325 6.8% 154 35-39 9% of Income 431 9 1% 278 40-49 9% of Income 483 10 2% 187 50+% of Income 1,201 25 3% 288 Gross Rent % Inc Not Computed 123 2.6% 68 HOUSEHOLDS BY PUBLIC ASSISTANCE INCOME IN THE PAST 12 MONTHS Total 15,726 100.0% 790 With public assistance income 491 3.1% 174 No public assistance income 15,235 96.9% 793 HOUSEHOLDS BY FOOD STAMPS/SNAP STATUS Total 15,726 100.0% 790 With Food Stamps/SNAP 2,340 14.9% 369 With No Food Stamps/SNAP 13,387 85.1% 782 HOUSEHOLDS BY DISABILITY STATUS Total 15,726 100.0% 790 With 1+ Persons w/Disability 4,667 29.7% 532 With No Person w/Disability 11,059 70.3% 819
August 30, 2023 ©2023 Esri Page 24 of 24

Market Profile

Data Note: Household population includes persons not residing in group quarters. Average Household Size is the household population divided by total households. Persons in families include the householder and persons related to the householder by birth, marriage, or adoption. Per Capita Income represents the income received by all persons aged 15 years and over divided by the total population

Bureau 2000 and 2010 decennial Census data converted by Esri into 2020 geography.

710 NW Maple Ave, Redmond, Oregon, 97756 Prepared by Esri Rings: 1, 3, 5 mile radii Latitude: 44.29071 Longitude: -121.17506 1 mile 3 miles 5 miles Population Summary 2010 Total Population 8,219 24,537 32,926 2020 Total Population 9,909 30,044 40,894 2020 Group Quarters 90 135 163 2023 Total Population 10,756 32,979 44,648 2023 Group Quarters 90 135 163 2028 Total Population 11,268 34,538 46,820 2023-2028 Annual Rate 0.93% 0.93% 0.95% 2023 Total Daytime Population 10,148 31,877 40,913 Workers 4,193 14,906 17,293 Residents 5,955 16,971 23,620 Household Summary 2010 Households 3,147 9,285 12,620 2010 Average Household Size 2.60 2.62 2.58 2020 Total Households 3,774 11,395 15,689 2020 Average Household Size 2.60 2.62 2.60 2023 Households 4,066 12,538 17,169 2023 Average Household Size 2.62 2.62 2.59 2028 Households 4,283 13,233 18,136 2028 Average Household Size 2.61 2.60 2.57 2023-2028 Annual Rate 1.05% 1.08% 1.10% 2010 Families 2,216 6,390 8,807 2010 Average Family Size 3.03 3.07 3.01 2023 Families 2,768 8,404 11,625 2023 Average Family Size 3.12 3.11 3.07 2028 Families 2,905 8,820 12,221 2028 Average Family Size 3.10 3.09 3.05 2023-2028 Annual Rate 0.97% 0.97% 1.00% Housing Unit Summary 2000 Housing Units 1,925 6,117 8,741 Owner Occupied Housing Units 68.5% 62.6% 66.0% Renter Occupied Housing Units 27.1% 32.5% 28.4% Vacant Housing Units 4.4% 4.8% 5.6% 2010 Housing Units 3,421 10,216 14,091 Owner Occupied Housing Units 58.8% 51.1% 54.9% Renter Occupied Housing Units 33.2% 39.8% 34.6% Vacant Housing Units 8.0% 9.1% 10.4% 2020 Housing Units 3,863 11,844 16,608 Vacant Housing Units 2.3% 3.8% 5.5% 2023 Housing Units 4,145 13,051 18,151 Owner Occupied Housing Units 74.5% 61.8% 65.8% Renter Occupied Housing Units 23.6% 34.3% 28.8% Vacant Housing Units 1.9% 3.9% 5.4% 2028 Housing Units 4,338 13,671 19,017 Owner Occupied Housing Units 76.0% 62.8% 67.0% Renter Occupied Housing Units 22.7% 34.0% 28.4% Vacant Housing Units 1.3% 3.2% 4.6% Median Household Income 2023 $75,187 $75,035 $76,088 2028 $86,368 $82,835 $84,885 Median Home Value 2023 $467,703 $455,606 $487,725 2028 $526,124 $524,030 $563,750 Per Capita Income 2023 $33,885 $33,226 $35,262 2028 $40,322 $38,755 $41,348 Median Age 2010 36.1 33.9 36.7 2023 38.1 35.9 38.8 2028 37.4 35.9 38.9
Source: Esri
for 2023 and 2028 U.S.
August
©2023 Esri Page 1 of 7
forecasts
Census
30, 2023

Market Profile

Data Note: Income represents the preceding year, expressed in current dollars. Household income includes wage and salary earnings, interest dividends, net rents, pensions, SSI and welfare payments, child support, and alimony.

Source: Esri forecasts for 2023 and 2028 U.S. Census Bureau 2000 and 2010 decennial Census data converted by Esri into 2020 geography. August 30, 2023

710 NW Maple Ave, Redmond, Oregon, 97756 Prepared by Esri Rings: 1, 3, 5 mile radii Latitude: 44.29071 Longitude: -121.17506 1 mile 3 miles 5 miles 2023 Households by Income Household Income Base 4,066 12,538 17,169 <$15,000 7.6% 6.2% 7.1% $15,000 - $24,999 4.5% 5.0% 5.4% $25,000 - $34,999 5.6% 5.6% 5.5% $35,000 - $49,999 15.9% 14.6% 13.1% $50,000 - $74,999 16.3% 18.6% 17.7% $75,000 - $99,999 17.4% 19.2% 18.1% $100,000 - $149,999 22.5% 21.4% 21.7% $150,000 - $199,999 5.8% 6.4% 7.1% $200,000+ 4.5% 3.0% 4.1% Average Household Income $90,354 $87,553 $91,462 2028 Households by Income Household Income Base 4,283 13,233 18,136 <$15,000 6.8% 5.4% 6.1% $15,000 - $24,999 3.3% 3.8% 3.8% $25,000 - $34,999 4.1% 4.2% 4.0% $35,000 - $49,999 12.1% 12.1% 11.0% $50,000 - $74,999 14.2% 16.8% 16.2% $75,000 - $99,999 17.8% 19.7% 18.5% $100,000 - $149,999 27.1% 24.8% 24.8% $150,000 - $199,999 8.5% 9.2% 10.1% $200,000+ 6.1% 4.1% 5.4% Average Household Income $106,927 $101,333 $106,463 2023 Owner Occupied Housing Units by Value Total 3,088 8,062 11,947 <$50,000 3.6% 3.0% 2.3% $50,000 - $99,999 0.7% 3.9% 2.8% $100,000 - $149,999 0.7% 1.6% 1.1% $150,000 - $199,999 1.9% 3.9% 2.8% $200,000 - $249,999 1.7% 3.6% 2.6% $250,000 - $299,999 4.5% 5.6% 4.3% $300,000 - $399,999 11.4% 14.8% 11.6% $400,000 - $499,999 37.5% 24.8% 25.5% $500,000 - $749,999 32.7% 33.1% 36.9% $750,000 - $999,999 4.4% 4.8% 7.3% $1,000,000 - $1,499,999 0.4% 0.6% 1.9% $1,500,000 - $1,999,999 0.3% 0.4% 0.4% $2,000,000 + 0.0% 0.1% 0.4% Average Home Value $485,201 $465,089 $515,594 2028 Owner Occupied Housing Units by Value Total 3,298 8,589 12,734 <$50,000 0.4% 0.2% 0.1% $50,000 - $99,999 0.0% 0.9% 0.6% $100,000 - $149,999 0.0% 0.0% 0.0% $150,000 - $199,999 0.0% 0.1% 0.1% $200,000 - $249,999 0.0% 0.3% 0.2% $250,000 - $299,999 0.0% 0.3% 0.2% $300,000 - $399,999 4.2% 13.1% 9.0% $400,000 - $499,999 40.4% 30.7% 27.4% $500,000 - $749,999 47.9% 44.4% 48.3% $750,000 - $999,999 5.5% 7.0% 9.1% $1,000,000 - $1,499,999 0.6% 1.3% 3.4% $1,500,000 - $1,999,999 0.9% 1.4% 1.2% $2,000,000 + 0.1% 0.2% 0.3% Average Home Value $569,542 $569,764 $608,772
©2023 Esri Page 2 of 7

Market Profile

710 NW Maple Ave, Redmond, Oregon, 97756 Prepared by Esri Rings: 1, 3, 5 mile radii Latitude: 44.29071 Longitude: -121.17506 1 mile 3 miles 5 miles 2010 Population by Age Total 8,220 24,539 32,928 0 - 4 7.5% 8.0% 7.2% 5 - 9 8.0% 7.9% 7.3% 10 - 14 8.2% 7.6% 7.4% 15 - 24 11.3% 13.1% 12.2% 25 - 34 13.4% 14.9% 13.5% 35 - 44 13.9% 13.8% 13.4% 45 - 54 12.8% 12.4% 13.1% 55 - 64 10.9% 10.1% 11.7% 65 - 74 7.7% 6.4% 7.8% 75 - 84 4.5% 3.9% 4.4% 85 + 1.7% 1.9% 2.0% 18 + 71.7% 71.9% 73.7% 2023 Population by Age Total 10,757 32,979 44,648 0 - 4 6.6% 7.1% 6.4% 5 - 9 7.0% 7.3% 6.6% 10 - 14 6.8% 7.0% 6.6% 15 - 24 12.8% 13.0% 12.1% 25 - 34 12.7% 14.3% 13.1% 35 - 44 13.7% 14.1% 13.3% 45 - 54 12.3% 11.7% 11.8% 55 - 64 11.0% 10.6% 11.9% 65 - 74 9.8% 8.9% 10.8% 75 - 84 5.3% 4.4% 5.4% 85 + 2.0% 1.6% 1.8% 18 + 74.9% 74.3% 76.3% 2028 Population by Age Total 11,271 34,539 46,821 0 - 4 6.7% 7.2% 6.5% 5 - 9 7.0% 7.2% 6.6% 10 - 14 7.2% 7.4% 6.9% 15 - 24 11.8% 12.6% 11.6% 25 - 34 14.1% 14.3% 13.2% 35 - 44 12.8% 14.1% 13.3% 45 - 54 12.5% 11.7% 11.8% 55 - 64 10.2% 9.9% 11.1% 65 - 74 9.2% 8.7% 10.8% 75 - 84 6.2% 5.1% 6.3% 85 + 2.2% 1.7% 2.1% 18 + 74.6% 74.1% 76.2% 2010 Population by Sex Males 4,004 11,898 16,059 Females 4,215 12,639 16,868 2023 Population by Sex Males 5,238 16,125 21,904 Females 5,518 16,854 22,744 2028 Population by Sex Males 5,452 16,843 22,904 Females 5,816 17,695 23,916 Source: Esri forecasts for 2023 and 2028 U.S. Census Bureau 2000 and 2010 decennial Census data converted by Esri into 2020 geography. August 30, 2023 ©2023 Esri Page 3 of 7

Market Profile

Data Note: Persons of Hispanic Origin may be of any race The Diversity Index measures the probability that two people from the same area will be from different race/ ethnic groups

data converted by Esri into

710 NW Maple Ave, Redmond, Oregon, 97756 Prepared by Esri Rings: 1, 3, 5 mile radii Latitude: 44.29071 Longitude: -121.17506 1 mile 3 miles 5 miles 2010 Population by Race/Ethnicity Total 8,219 24,538 32,926 White Alone 91.0% 89.1% 90.1% Black Alone 0.4% 0.4% 0.4% American Indian Alone 1.0% 1.3% 1.2% Asian Alone 0.9% 0.8% 0.7% Pacific Islander Alone 0.2% 0.2% 0.2% Some Other Race Alone 4.0% 5.3% 4.7% Two or More Races 2.6% 3.0% 2.8% Hispanic Origin 10.5% 12.3% 10.9% Diversity Index 32.7 37.4 34.3 2020 Population by Race/Ethnicity Total 9,909 30,044 40,894 White Alone 81.7% 81.0% 82.6% Black Alone 0.4% 0.6% 0.5% American Indian Alone 1.2% 1.2% 1.1% Asian Alone 0.9% 1.1% 1.1% Pacific Islander Alone 0.1% 0.2% 0.2% Some Other Race Alone 5.6% 5.9% 5.0% Two or More Races 10.1% 10.0% 9.6% Hispanic Origin 13.5% 14.1% 12.5% Diversity Index 47.8 49.2 45.8 2023 Population by Race/Ethnicity Total 10,756 32,979 44,647 White Alone 80.9% 80.1% 81.7% Black Alone 0.4% 0.5% 0.5% American Indian Alone 1.2% 1.2% 1.1% Asian Alone 0.9% 1.2% 1.1% Pacific Islander Alone 0.1% 0.2% 0.1% Some Other Race Alone 6.0% 6.3% 5.4% Two or More Races 10.5% 10.5% 10.0% Hispanic Origin 14.3% 15.0% 13.3% Diversity Index 49.4 51.0 47.6 2028 Population by Race/Ethnicity Total 11,269 34,538 46,819 White Alone 79.6% 78.8% 80.5% Black Alone 0.4% 0.5% 0.5% American Indian Alone 1.2% 1.3% 1.2% Asian Alone 0.9% 1.2% 1.2% Pacific Islander Alone 0.1% 0.2% 0.2% Some Other Race Alone 6.5% 6.8% 5.8% Two or More Races 11.2% 11.2% 10.7% Hispanic Origin 15.3% 16.0% 14.2% Diversity Index 51.8 53.3 49.8 2010 Population by Relationship and Household Type Total 8,219 24,537 32,926 In Households 99.6% 99.2% 99.0% In Family Households 85.0% 83.6% 83.9% Householder 26.7% 26.0% 26.8% Spouse 20.1% 18.6% 20.1% Child 32.2% 32.2% 30.6% Other relative 2.8% 3.2% 3.1% Nonrelative 3.2% 3.6% 3.4% In Nonfamily Households 14.6% 15.6% 15.1% In Group Quarters 0.4% 0.8% 1.0% Institutionalized Population 0.0% 0.4% 0.5% Noninstitutionalized Population 0.4% 0.4% 0.4%
Source: Esri forecasts for 2023 and 2028 U.S. Census Bureau 2000
2010 decennial Census
August 30, 2023 ©2023 Esri Page 4 of 7
and
2020 geography.

Market Profile

710 NW Maple Ave, Redmond, Oregon, 97756 Prepared by Esri Rings: 1, 3, 5 mile radii Latitude: 44.29071 Longitude: -121.17506 1 mile 3 miles 5 miles 2023 Population 25+ by Educational Attainment Total 7,179 21,638 30,449 Less than 9th Grade 2.2% 3.1% 3.0% 9th - 12th Grade, No Diploma 4.7% 5.5% 5.3% High School Graduate 24.2% 21.1% 22.8% GED/Alternative Credential 4.2% 4.2% 3.7% Some College, No Degree 28.1% 25.5% 25.1% Associate Degree 11.2% 13.3% 12.5% Bachelor's Degree 19.3% 19.7% 19.8% Graduate/Professional Degree 6.2% 7.6% 7.8% 2023 Population 15+ by Marital Status Total 8,558 25,917 35,871 Never Married 20.7% 28.7% 26.4% Married 56.5% 49.8% 52.5% Widowed 5.5% 5.1% 5.9% Divorced 17.4% 16.4% 15.2% 2023 Civilian Population 16+ in Labor Force Civilian Population 16+ 5,107 17,207 22,691 Population 16+ Employed 95.5% 94.6% 94.0% Population 16+ Unemployment rate 4.5% 5.4% 6.0% Population 16-24 Employed 12.9% 13.2% 12.2% Population 16-24 Unemployment rate 24.2% 20.4% 20.9% Population 25-54 Employed 69.7% 68.4% 67.3% Population 25-54 Unemployment rate 0.3% 2.8% 3.1% Population 55-64 Employed 13.0% 13.4% 14.8% Population 55-64 Unemployment rate 2.2% 2.7% 6.3% Population 65+ Employed 4.5% 4.9% 5.7% Population 65+ Unemployment rate 2.2% 0.7% 0.5% 2023 Employed Population 16+ by Industry Total 4,879 16,272 21,320 Agriculture/Mining 1.2% 1.3% 1.7% Construction 9.6% 12.9% 12.7% Manufacturing 3.0% 4.9% 5.3% Wholesale Trade 1.2% 1.3% 1.7% Retail Trade 16.3% 14.1% 14.9% Transportation/Utilities 9.6% 7.1% 5.9% Information 1.4% 1.2% 1.0% Finance/Insurance/Real Estate 3.7% 3.5% 3.1% Services 51.3% 50.5% 50.3% Public Administration 2.8% 3.1% 3.2% 2023 Employed Population 16+ by Occupation Total 4,876 16,273 21,322 White Collar 63.1% 57.6% 57.3% Management/Business/Financial 15.3% 14.8% 15.3% Professional 21.5% 19.6% 19.6% Sales 11.8% 9.4% 9.8% Administrative Support 14.4% 13.8% 12.7% Services 15.8% 18.0% 18.4% Blue Collar 21.1% 24.4% 24.3% Farming/Forestry/Fishing 0.0% 0.2% 0.2% Construction/Extraction 5.8% 8.1% 7.7% Installation/Maintenance/Repair 4.2% 3.0% 3.5% Production 3.9% 4.1% 3.7% Transportation/Material Moving 7.2% 9.0% 9.3% Source: Esri forecasts for 2023 and 2028 U.S. Census Bureau 2000 and 2010 decennial Census data converted by Esri into 2020 geography. August 30, 2023 ©2023 Esri Page 5 of 7

Market Profile

Data Note: Households with children include any households with people under age 18, related or not. Multigenerational households are families with 3 or more parentchild relationships. Unmarried partner households are usually classified as nonfamily households unless there is another member of the household related to the householder. Multigenerational and unmarried partner households are reported only to the tract level. Esri estimated block group data, which is used to estimate polygons or non-standard geography. Source: Esri forecasts for 2023 and 2028 U.S. Census Bureau 2000 and 2010 decennial Census data converted by Esri into 2020 geography.

August 30, 2023

710 NW Maple Ave, Redmond, Oregon, 97756 Prepared by Esri Rings: 1, 3, 5 mile radii Latitude: 44.29071 Longitude: -121.17506 1 mile 3 miles 5 miles 2010 Households by Type Total 3,148 9,286 12,618 Households with 1 Person 22.6% 23.3% 23.0% Households with 2+ People 77.4% 76.7% 77.0% Family Households 70.4% 68.8% 69.8% Husband-wife Families 53.2% 49.2% 52.2% With Related Children 24.7% 23.5% 22.5% Other Family (No Spouse Present) 17.2% 19.6% 17.6% Other Family with Male Householder 5.2% 5.7% 5.2% With Related Children 3.7% 4.2% 3.7% Other Family with Female Householder 12.0% 14.0% 12.4% With Related Children 8.9% 10.6% 9.1% Nonfamily Households 7.0% 7.9% 7.2% All Households with Children 38.3% 39.0% 36.1% Multigenerational Households 3.1% 3.6% 3.4% Unmarried Partner Households 8.5% 9.3% 8.5% Male-female 7.9% 8.7% 7.9% Same-sex 0.6% 0.7% 0.6% 2010 Households by Size Total 3,147 9,285 12,622 1 Person Household 22.6% 23.3% 23.0% 2 Person Household 35.2% 34.2% 36.7% 3 Person Household 16.6% 17.1% 16.3% 4 Person Household 14.1% 13.9% 13.3% 5 Person Household 7.3% 7.4% 6.9% 6 Person Household 3.0% 2.8% 2.6% 7 + Person Household 1.2% 1.3% 1.2% 2010 Households by Tenure and Mortgage Status Total 3,148 9,284 12,619 Owner Occupied 63.9% 56.3% 61.4% Owned with a Mortgage/Loan 48.9% 44.4% 47.0% Owned Free and Clear 15.0% 11.9% 14.4% Renter Occupied 36.1% 43.7% 38.6% 2023 Affordability, Mortgage and Wealth Housing Affordability Index 66 68 64 Percent of Income for Mortgage 37.4% 36.5% 38.5% Wealth Index 70 62 72 2010 Housing Units By Urban/ Rural Status Total Housing Units 3,421 10,216 14,091 Housing Units Inside Urbanized Area 0.0% 0.0% 0.0% Housing Units Inside Urbanized Cluster 90.8% 90.8% 80.4% Rural Housing Units 9.2% 9.1% 19.6% 2010 Population By Urban/ Rural Status Total Population 8,219 24,537 32,926 Population Inside Urbanized Area 0.0% 0.0% 0.0% Population Inside Urbanized Cluster 90.9% 91.1% 82.5% Rural Population 9.1% 8.9% 17.5%
©2023 Esri Page 6 of 7

Market Profile

Data Note: Consumer spending shows the amount spent on a variety of goods and services by households that reside in the area Expenditures are shown by broad budget categories that are not mutually exclusive. Consumer spending does not equal business revenue. Total and Average Amount Spent Per Household represent annual figures The Spending Potential Index represents the amount spent in the area relative to a national average of 100

Source: Consumer Spending data are derived from the 2019 and 2020 Consumer Expenditure Surveys, Bureau of Labor Statistics. Esri.

Source: Esri forecasts for 2023 and 2028 U.S. Census Bureau 2000 and 2010 decennial Census data converted by Esri into 2020 geography.

August 30, 2023

710 NW Maple Ave, Redmond, Oregon, 97756 Prepared by Esri Rings: 1, 3, 5 mile radii Latitude: 44.29071 Longitude: -121.17506 1 mile 3 miles 5 miles Top 3 Tapestry Segments 1. Middleburg (4C) Middleburg (4C) Middleburg (4C) 2. Old and Newcomers (8F) Urban Edge Families (7C) The Great Outdoors (6C) 3. Down the Road (10D) Front Porches (8E) Urban Edge Families (7C) 2023 Consumer Spending Apparel & Services: Total $ $7,515,444 $22,669,317 $31,825,697 Average Spent $1,848.36 $1,808.05 $1,853.67 Spending Potential Index 84 82 84 Education: Total $ $5,523,022 $17,132,673 $24,503,830 Average Spent $1,358.34 $1,366.46 $1,427.21 Spending Potential Index 76 76 80 Entertainment/Recreation: Total $ $13,096,474 $38,721,861 $55,768,439 Average Spent $3,220.97 $3,088.36 $3,248.21 Spending Potential Index 85 82 86 Food at Home: Total $ $23,088,059 $69,821,463 $99,828,611 Average Spent $5,678.32 $5,568.79 $5,814.47 Spending Potential Index 83 82 85 Food Away from Home: Total $ $12,874,317 $38,832,163 $54,739,903 Average Spent $3,166.33 $3,097.16 $3,188.30 Spending Potential Index 85 83 86 Health Care: Total $ $26,182,983 $76,203,166 $110,504,076 Average Spent $6,439.49 $6,077.78 $6,436.26 Spending Potential Index 88 83 87 HH Furnishings & Equipment: Total $ $10,296,969 $30,579,304 $43,651,662 Average Spent $2,532.46 $2,438.93 $2,542.47 Spending Potential Index 86 83 86 Personal Care Products & Services: Total $ $3,297,793 $9,920,758 $14,072,044 Average Spent $811.07 $791.26 $819.62 Spending Potential Index 85 83 86 Shelter: Total $ $83,328,886 $255,026,772 $363,998,541 Average Spent $20,494.07 $20,340.31 $21,200.92 Spending Potential Index 83 82 86 Support Payments/Cash Contributions/Gifts in Kind: Total $ $11,121,535 $32,305,763 $47,030,530 Average Spent $2,735.25 $2,576.63 $2,739.27 Spending Potential Index 87 82 88 Travel: Total $ $7,845,221 $23,252,957 $33,279,572 Average Spent $1,929.47 $1,854.60 $1,938.35 Spending Potential Index 86 82 86 Vehicle Maintenance & Repairs: Total $ $4,652,911 $13,882,374 $19,816,314 Average Spent $1,144.35 $1,107.22 $1,154.19 Spending Potential Index 87 85 88
©2023 Esri Page 7 of 7
Bureau of Land Management, State of Oregon GEO, State of Oregon, Esri, HERE, Garmin, INCREMENT P, NGA, USGS, U.S. Forest Service 0 0.8 1.6 mi
710 NW Maple Ave, Redmond, Oregon, 97756 Prepared by Esri Rings: 1, 3, 5 mile radii Latitude: 44.29071 Longitude: -121.17506 Source: ©2023 Kalibrate Technologies (Q2 2023). August 30, 2023 ©2023 Esri Page 1 of 1
Traffic Count Map

COMMERCIAL USE AND INDUSTRIAL USE ZONES

8.0150Strip-Service Commercial C-1 Zone.

8.0155Central Business District Commercial (CBD) C-2 Zone.

8.0160Special-Service Commercial C-3 Zone.

8.0165Limited Service Commercial C-4Zone.

8.0166Limited Service Commercial C-4A Zone: Except as provided in 8.0190 and 8.0195, the standards and criteria for development in the C-4A Zone shall apply to development in the C-4A Zone.

8.0170Tourist Commercial C-5 Zone.

8.0175Downtown Overlay District. In the DowntownOverlay District, the following regulations shall apply:

1. Purpose. The purposeof the Downtown Overlay District is to promote and sustain:

A. Economic Growth - Assure opportunities for a stable, vital, diverse, and competitive economy in the heart of the city.

B. Vibrant Downtown - Strengthen downtown as avibrant, mixed-use district that draws a wide spectrum of residents and visitors.

C. Downtown Appearance - Improve and enhancethe appearance of the built environment and natural features throughout downtown, especially along primary commercial corridors, and other major arterials.

D. Historic Character - Preserve and retain historic structures and cultural resourcesthroughout downtown.

E. Pedestrian Environment - Improve and enhance the pedestrian environment throughout downtown, as well as the pedestrianconnections to surrounding neighborhoods and civic resources.

2. Intent. The intent of the Downtown Overlay District is to:

A. Encourage avibrant mix of pedestrian-oriented uses, including residential, shopping and entertainment uses;

B. Increase the density and intensity of development;

C. Establish height, bulk, and lot coverage regulations that balance existing urban fabric with a desired character for downtown;

D. Promote active ground floors by regulating the quantity and location of doors and windows;

E. Establish standards for setbacks and landscaping that encourage and promote a strong pedestrian environment.

F. Establish parking and access standards that support pedestrian activity.

3. Uses Permitted (Please see 8.0190 TableC)

4. Development Standards. In the Downtown Overlay District, the following dimensional standards shall apply:

A. Minimum Building Setback: Two (2) feet. Surface treatment needs to be of similar nature as adjoining sidewalk.

B. Maximum Building Setback: Ten (10) feet. Surface treatment beyond two feet from the sidewalk needs to be landscaped or treated with decorative pavers. Asphalt is prohibited. For full-block developments, a minimum of 50% of the primary street-facing building façade must be located at the minimum two (2) feet setback as described in4.A.

C. Minimum LandscapedArea: No minimum landscaping requirement.

D. Ground Floor Windows: Ground floor windows must be at least 50% of the building length and 50%of the street-facing façade to a minimum height of -

CHAPTER 8 DEVELOPMENT REGULATIONS 62

above finished right-of-way. If the site has two or more frontages, the Ground Floor Window standards is only required on the primary façade. The other façade has a minimum requirement of 50% of the building length and 25% of the ground floor wall area. Windows arerequired tobe transparent.

Please note: Ground floor wall area is defined as all wallareas up to ten (10) feet above the finished grade.

Ground Floor Windows Residential Use: 25% of the ground floor wall area must be transparent.

E. Main Entrance: The front door to all buildings must be oriented to the primary street. In the event that a building is located on the corner, the front door should be oriented directly to the corner or located within fifty (50) feet of the corner of the primary street.

F. Pedestrian Connection from Front Door to theStreet: Create a straight-line connection from the front door tothe primary street sidewalks.

G. Exterior Display and Storage: Permanent storage between the building and the street is prohibited.

H. Screening HVAC Equipment: Screen rooftop mechanical equipment through extended parapets or other roof forms that are integrated into the overall composition of the building. Screen ground floormechanical equipment. Renewable energy generation devicesmay be exempt from screening, subject to site and design review by a hearings body.

I. Parking andAccess: Parking between the building and the primary street is prohibited.

5. Building Height. The intent of the building height standards is to set guidelines to assist the development in the downtowncore that increase economic activity, capital value and encourage investment in the downtown core. The following guidelines provide performance standards that encourage innovative design and development techniques within specific parameters. They are generally prioritized to include the following: Compatibility withexisting downtownbuildings andsurrounding residential neighborhoods; Human scale related to building design, including height and massing, and its impact on solar access and views; Multi-story and mixed-use buildings for increased density and diversified use on premium land intheurban core; Development incentives for increased height, based on Performance Bonuses.

A. Maximum Height: Themaximum height allowed for the downtown overlay district for all structures that are not within one full city block of aresidential zone and west of SW 5th Street is sixty (60) feet, and east of SW 5th Street is 75 feet. The maximum height of structures east of 5th Street may be increased if a Conditional Use Permit for the structure is approved by a Hearings Body. The following standards shall apply to structures inthe Downtown OverlayDistrict.

1. Street Wall Height: Maximum street wall façade height for the downtown overlay district for all structures that are not within one full city block of aresidential zone is forty-five (45) feet.

2. Upper-floor Setback: Buildings taller than forty-five (45) feet must step back upper stories by at least 10 feet measured from the façade of the street wallfacing the street, public park, or open space.

3. Residential Buffer Zone: All buildings in the Downtown Overlay District within one full city blockadjacent to a residential zone shall be considered to be part of the Residential Buffer Zone, wherein the following height

CHAPTER 8 DEVELOPMENT REGULATIONS 63

standards apply:

a. Maximum Height: The maximum height allowed for all structures within the Residential Zone Buffer is fifty (50) feet.

b. Street Wall Height: Maximum street wall façade height for structures withinthe Residential Zone Buffer is thirty-five (35) feet.

c. Upper Floor Setback Requirements: Buildings taller than thirtyfive (35) feet must step back upper stories by at least 10 feet measured from the façade of the street wall facing the street, alleyway, public park, or open space.

B. Architectural Standards for Buildings Taller Than 45 Feet: In addition to the existing Site and Design Review criteria and Downtown Overlay District Design Standards, the following architectural standards will apply to all buildings taller than forty-five(45) feet.

1. On upper floors use windows and/or architectural features that provide interest on all four sides of the building when permitted within the building code.

2. Abrupt changes in building heights and/or roof orientation should be diminished by offsets of building form and mass.

3. Use recesses and projections to visually divide building surfaces into smaller scaleelements.

4. Use color tovisually reduce the size, bulk, and scale of the building.

5. Buildings sixty feet or over shall provide rooflines with articulated features.

6. Location of back flow prevention devices and the fire sprinkler riser must be identified on project plans submitted for site and design review and shall be located inside the building.

C. Buildings within the Downtown Overlay District shall only be permitted to exceed 75 feet if they comply with the standards set forthbelow.

1. Performance Bonus: Additional building height above 75 feet may be approved if the project achieves a minimum of twelve (12) points from the following:

Affordable Housing: The project provides affordable housing, per City standards, for low- and moderate-income households, as a percentage of the total number of residential units built. 3points for 10%, 4 points for 15%, and 5 points for 20% of total number of residential units built for affordable housing.

Workforce Housing: The project provides workforce housing, per City standards. 1 point for 10%, and 2points for 20% of total number of residential uses built for workforce housing.

Public Plaza: The project incorporates a public plaza which is at least 5% of the gross site area. Theplaza shall be on the street side of the building, and open and free to the public at alltimes and shallremain for a period of at least ten years. 1 point per 5% public plaza space, with a maximum of 4points.

Public Art: 0.5% of the overall project budget is set aside for an on-site public art project that shallremain for the life of the building, or 1.0% of the overall project budget is provided to the City for off-site public art shall be awarded 2 points. Increasing thesepercentages to 0.75 % and 1.5% respectively increases the number of points awarded to 3. Increasing these percentages to

3 - 5 pts.

1 2 pts.

1 - 4 pts.

2 - 4 pts.

CHAPTER 8 DEVELOPMENT REGULATIONS 64

1.0% and 2.0 % respectively increases the points awarded to 4.

View Access and Preservation: The project provides a public viewing deck or decks, or similar features, whichare at least 5% of the gross site area. The viewing deck(s) should be located at least sixty (60) feet above ground level and provide significant free public access to views of surrounding Central Oregon features, such as the Cascade Mountains and Smith Rocks, and shall remainfor a period of at least ten years.

Economic Vitality: The project provides additional economic benefit tothe City by providing retail sales and/or hospitality uses on multiple levels. Total floor area dedicated to entertainment, eating anddrinking, retail services, and service commercial uses as presented in Section 8.0190, Table C of the Redmond Development Code, must equal or exceed 75% of the building footprint and shall remain for a period of 5 years will be awarded 4 points. One additional point will be awarded for each additional 25% of floor area (as defined by the building footprint) for retail, entertainment or hospitality uses up to amaximum of 8 points.

Historic Preservation: The project provides for preservation or adaptive reuse of all buildings on the Cit tory of Historic Resources located on the project site in amanner consistent with the Secretary of the Interio rds for the Treatment of Historic Resources shallbeawarded 2 points. The Hearings Body may increase the points up to 4 points for projects on the National Register of Historic Places. As an alternative, 1.0% of the overall project budget is provided for a specific historic preservation project that will be completed within a specific timeframe in the Cityof Redmond or is provided to the Redmond Historic Commission for historic Redmond projects (not operations) shallbe awarded 2 points. The provision of 2% of the overall project budget will receive 4 points.

Sustainable Building: Project is built to LEED standards, or equivalent green building practices. It will be up tothe applicant toprovide material supporting equivalent building practices. (Certified is awarded 2 points, Silver certification is awarded 3 points, Gold certification is awarded 4 Points, and Platinum is awarded 5 points.)

Parking: In addition to the required parking for the development, the project provides at least 7 on-site parking spaces for public use between 8:00 6:00 PM that shall remain for the life ofthe building. 1 point per 7 public parking spaces, with amaximum of 5 points.

1 pt.

4 - 8 pts.

2 - 4 pts.

2 - 5 pts.

1 - 5 pts.

Total: 36 pts.

2. Building Bulk for Buildings over 60 feet in Height:

a. Floor Area Ratio (FAR): Buildings between sixty (60) feet and eighty-five (85) feet shall have a maximum floor area ratio of 4.0. Buildings eighty-five (85) feet and taller shall have a maximum floor area ratio of 5.0. Floor Area Ratio (FAR) is a method of

CHAPTER 8 DEVELOPMENT REGULATIONS 65

calculating allowable floor area in a development as a means of con an massing of larger developments, often encouraging setbacks and step backs, and progressively slender upper floors.

3. Application Requirements for Buildings Over 75 Feet: Planning applications submitted for new buildings over 75 feet tall shall include the following additional items to assist the City in the analysis and decisionmaking process.

a. Three-Dimensional Digital Model: A complete threedimensional digital model of the proposed building.

b. Solid WasteManagement Plan: A solid wastemanagement plan to showhow the project meets or exceed Solid Waste Guidelines, to the approval of the Utilities Director.

c. Utilities InfrastructureAnalysis: on of existing utilities infrastructure and recommendations to ensurethat the project will have adequate water pressure for domestic use and fire flows andthat the collection system inthe area surrounding the proje impact.

d. Emergency Services Access Plan: A written and graphic plan, created in consultation wit eMarshal to showhow access to site and upper floors for emergency response personnel will be provided.

e. Public Safety Plan: A security plan, created in consultation with the Police Department for all proposed buildings that include publicly accessible areas such as parking garages, courtyards, public stairways, elevators, and decks.

4. Height Design Departure: In addition to the availability of variances as noted in 8.0700 8.0720, a design departure procedure will be established to allow a project to achieve flexibility in the application of prescriptive development standards and height performance bonuses (limited to two height performance bonuses). A 20% departure may be granted administratively. In order to allow a departure from a code standard, an applicant must demonstrate that it would result in a development that better meets the intent of the purpose of the regulation and applicable design guidelines.

6. Design Standards. Any change to the exterior of a building or a property shallbe reviewed by the Community Development Department pursuant to Article IV Section 8.3040 of the Redmond Development Code.

7. Off-Street Parking. In addition to the standards of 8.0505 8.0515, the following standards shall apply for off-street parking in theDowntown Overlay District:

A. Off-Street Parking Requirements(Number ofSpaces):

1. Residential: Per State Condominium Code

2. Non-Residential: 1 parking space per 500 net square feet

3. For buildings over 75 feet in height: 1 parking space per 1000 net square feet.

B. Fee-In-Lieu of Parking: The purpose of these provisions is to allow development in the Downtown Overlay District to reduce the number of off-street parking spaces through payment of a fee in order to meet the parking requirements set forth in this Code. These provisions may be utilized for parking required for new construction or for an increase in required parking resulting from the change of use of an existing building.

CHAPTER 8 DEVELOPMENT REGULATIONS 66

Payment made to the City in-lieu of supplying the required off-street parking spaces for a project in the Downtown Overlay District may be provided as follows:

1. By the one-time payment of a non-refundable parking and mobility improvement fee to the ee Schedule, paid prior to the issuance of Certificate of Occupancy. Fees collected shall be used to fund parking, street improvements or facilities to improve mobility or enhance pedestrian connectivity and safety in the Downtown Overlay District.

2. From time to time the City shall establish the value of off-street parking facilities on a per parking space basis, used to establish the above parking and mobility improvement fee.

3. The City Engineering shall evaluate development proposals requesting to pay an in-lieu fee through conducting a Transportation System Analysis or parking study.

4. Any such request for parking in-lieu may be denied or reduced by the Community Development Director, or designee. The Director, or designee, shall determine:

a. Whether there is sufficient alternative parking within a two to fourblock radius of the project location.

b. Whether approval of the request would have an adverse effect on surrounding neighborhoods.

c. Whether the request meets the Purpose and Intent of the Downtown Overlay District Zone.

d. Compliance with the Redmond Comprehensive Plan 2040 and support plans, as amended.

[Section 8.0175 amended by Ord. #2016-17 passed January 31, 2017]

[Section 8.0175 amended by Ord. #2022-04 passed June 28, 2022]

[Section 8.0175 amended by Ord. #2022-09 passed December 13, 2022]

8.0180Light Industrial (M-1) Zone.

8.0182General Industrial (M-1.5) Zone.

8.0185Heavy Industrial (M-2) Zone.

8.0186Large Lot Industrial (LLI) Zone.

1. LLI Zone Regulations. The following standards and regulations apply inthe LLI Zone:

A. The lot shall adhere to the designation as acknowledged by the Central Oregon IntergovernmentalCouncil.

B. No property that is zoned LLI can be rezoned to another zone within ten years of the LLI designation.

C. The minimum lot size is 50 acres. Division or separation of lots or parcels within the site to new lots or parcels less than the minimum lot size is not allowed until the site is developed with a primarytraded sector use requiring a large lot.

D. Allowed uses are tradedsector uses as provided in Section 2.

E. Uses allowed tosupport a primary userincluded:

1. Subordinate industrial uses that rely upon and support the primary traded sector use;

2. Service commercial uses that support the traded sector uses if they are limited to7500 square feet per use; and

CHAPTER 8 DEVELOPMENT REGULATIONS 67

3. Retail uses accessory to a traded sector use and limited to 7500 square feet.

F. Conceptual Phased Site Development Plan. A Conceptual Phased Site Development Plan is required for each primary traded-sector use as part of the Site and Design Review process in addition to the criteria and requirements outlined in Article IV of this code. In addition to the requirements outlined in Section 8.3025, the following elements shall be considered as part of the Conceptual Phased SiteDevelopment Plan:

1. Open Space. Generally identify land provided for openspace onthe site.

2. Connectivity and Trail Networks. A conceptual transportation plan for streets, pedestrians connectivity and trail networks. E.g., Connection of bicycle routes and pedestrian network for utility and recreational purposes.

3. Site Design. Describe how the design elements (i.e., streets, open spaces, signage, and architecture) are integrated and coordinated throughout the site.

4. Analysis of Anticipated Utility Consumption by Phase. Analysis of the anticipated utility consumption by phase for wastewater, water, power, natural gas, and other utility infrastructure necessary to support the development.

2. LLI Zone Uses Permitted. The following uses are allowed outright or conditionally in the Large Lot Industrial Zone:

O PerORS285B.280,tradedsectormeansindustriesinwhich memberfirmsselltheirgoodsorservicesintomarketsforwhich nationalorinternationalcompetitionexists,aswellasusesand servicesthatdirectlybenefittradedsectoruses.Alloweduses includemanufacturing,processingplants,distributioncenter, warehousing,researchanddevelopment,andhighereducation institutions

O

C

Afteraprimarytraded-sectorusehasbeensited,subordinate industrialusesareallowed.Subordinatemeansindustriesthat relyuponandsupportaprimarytradedsectoruse

Afteraprimarytraded-sectorusehasbeensited,service commercialusesareallowedthatsupportthetradedsectoruses andshallbelimitedto7500squarefeetperstructure

C Afteraprimarytraded-sectorusehasbeensited,retailuses,and eatinganddrinkingestablishmentsareallowedasaconditional useandshallbelimitedto7500squarefeetperuseinthe structure.

O=Outrightuses,C=ConditionalUses

3. Minimum Standards. See Table D, 8.0195.

[Section 8.0186 added by Ord. #2015-11 passedSeptember 22, 2015]

[Section 8.0186 amended by Ord. #2022-09 passed December 13, 2022]

CHAPTER 8 DEVELOPMENT REGULATIONS 68
Land Use: Zone: RESTRICTIONS AND REQUIREMENTS: Traded-Sector Usage
Subordinate Industrial Uses
Service Commercial Uses
Retail Uses

CHAPTER 8 DEVELOPMENT REGULATIONS

8.0190Table C, Uses Permitted. The following uses identified below are allowed outright or conditionally in each of the Commercial and Industrial zones. Outright or conditional uses in the M-1.5 zone may be permitted Conditionally in the M-1 or M-2 zones; this allowance does not apply for uses Not Allowed ( N ).

69
means Permitted Outright eans Permitted Conditionally means Not Allowed Commercial/Industrial: C-1 C-2 C-3 C-4 C-4A C-5 M-1 M-1.5 M-2 DOD Restrictions and Requirements: Apartments N N N N N N N N N N SeeMulti-Family complexes. AssistedLivingFacility O O O O O O N N N C BedandBreakfast C C C C N N N N N C BoardingHouse O O O O C C N N N O Caretaker C N N C N C C C O N Mustliveonsite. Condominium N N N O N N N N N O Stateregulated. Dairy N N N N N N N N N O HomelessShelter O C C C N N O C N N ManufacturedHomePark C N N C N N N N N N Multi-FamilyComplex O O O O O O N N N O* *ResidentialUseonground floorrestrictedto<25%and shallnotbeinfrontof building. PlannedUnit Development C C C C C C C C C C ResidentialUseabove groundfloor O O O O N N N N N O ResidentialUseon groundfloor<25% N O O O N N N N N O Notinfrontofbuilding. ResidentialUseon groundfloor>25% N N N N N N N N N N Residentialcarefacility O C O C N N N N N C Residentialcarehome O O O O N N N N N O SingleFamilyDetached Dwelling(including ADUs) andDuplexeson ground floor C O* C N N N N N N O* *Onlypermittedforthose usespre-datingthe adoptionoftheC-2Zone Amendmentsand DowntownOverlayDistrict onAugust12,2008. AttachedSingleFamily andtriplexand quadplex abovegroundfloor O O O O O O N N N O Resumptionofa residentialuse O O O O O O N N N C Onlyaspreviously established. Eating and Drinking: C-1 C-2 C-3 C-4 C-4A C-5 M-1 M-1.5 M-2 DOD Restrictions and Requirements: Bakery(retail/sit-down) O O O O O* O O O O O Bar,Lounge,Tavern, Nightclub O O C O O* O O O O O Café,Restaurant(sitdown),Diner, BrewPub O O O O O* O O O O O Deli'sarelistedunder"retail uses." Café,Restaurant, Espresso(drivethrough) O O O O O* O O O O O Deli'sarelistedunder"retail uses." Entertainment: C-1 C-2 C-3 C-4 C-4A C-5 M-1 M-1.5 M-2 DOD Restrictions and Requirements:
70 AmusementPark C N N N O O N N N N ArenaforIndoorSports Events O C N C O O N N N C Largerthanindoor commercialrecreational use. DrivingRange O N N N N O N N N N GolfCourse N N N N N O N N N N IndoorCommercial Recreation O O O O O O C C C O MiniatureGolf, "Pitch&Putt" O N N N N O N N N N OutdoorCommercial Recreation C C N C O C N N N C Walk-inMovieTheater O O O O O O N N N O Automobile, Trucks, RV's: C-1 C-2 C-3 C-4 C-4A C-5 M-1 M-1.5 M-2 DOD Restrictions and Requirements: AutoDetailing O C N O O* N O O N C** Noautobodywork permittedas"detailing". **Grandfatheredasa ConditionalUseforexisting businessespriortoAugust 12,2008. AutoPainting, AutoBodyWork O N N N O* N O O O N AutoRepair O C N C O* N O O O C** Definedinpartbysomeonsiteautostorage. **Grandfatheredasa ConditionalUseforexisting businessespriortoAugust 12,2008. AutoSales(newand used);AutoRentals C C N O N N N N N C** **Grandfatheredasa ConditionalUseforexisting businessespriortoAugust 12,2008. AutoService O C N O O* N N N O C** Includesautolubeshops ('sameday'service). **Grandfatheredasa ConditionalUseforexisting businessespriortoAugust 12,2008. RecreationalVehicleor BoatSalesandService C N N C C N C C N N Includesmotorcycles, ATVs,otherrecreational vehicles. CarWash O O O O O O O O O C** Steamcleaningpermitted intheindustrialzones. **Grandfatheredasa ConditionalUseforexisting businessespriortoAugust 12,2008. GasStationsIncluding CardLock O O N O O O O O O C** **Grandfatheredasa ConditionalUseforexisting businessespriortoAugust 12,2008. TireSalesandService O O N O O N N N N N TruckStop O N N N O N O O O N TruckTerminal N N N N N N O O O N Automobileand RecreationalVehicle Storage/TowingYard N N N N N N C C C N Includesimpoundyards, autofleets. Industrially Related Uses: C-1 C-2 C-3 C-4 C-4A C-5 M-1 M-1.5 M-2 DOD Restrictions and Requirements: Aircraft/AirportService, ParkingLot, Maintenance N N N N N N O N O N
CHAPTER 8 DEVELOPMENT REGULATIONS
71 AutoWrecking,Recycling N N N N N N C C O N Bakery,Wholesale Distribution C N N N N N O O O N BatchPlants (Asphalt/Concrete) N N N N N N N C O N Commercial Manufacturing(Retail Support,Craftsmen) O O O O O O O O O O Mustbefullyenclosedin "C"zonesthatpermitthis use. Concrete&Concrete Products,Stone-cutting N N N N N N C C O N DistributionCenter N N N N O N O O O N Dump,Landfill N N N N N N N N C N EnclosedWarehousing andManufacturing N N N N N N O O O N Upto50%retailallowedin IndustrialZones. Junkyard N N N N N N N N O N AutoWreckingYard'isa separatecategory. LandscapingSupply (Bulk) N N N N N N O O O N Outdoorstorageofbulk landscapingmaterial. LumberMill N N N N N N N C O N Manufacturing (HeavyIndustrial) N N N N N N N C O N Manufacturing (LightIndustrial) N N N N N N O O O N SubjecttoDEQ requirementsand neighborhoodcompatibility. MedicalResearchFacility O O O O O O O O O O Excludesresearchusing biohazardousmaterial. PrecisionMachineShop C N N C N N O O O N Mustbefullyenclosedin "C"zonesthatpermitthis use. RetailUsesinsupportof primaryIndustrialUse N N N N N N O O O N Mustbelessthan50%of thegrossfloorarea. RockCrushing/Recycling N N N N N N C C O N Slaughterhouse N N N N N N N N O N Tanning,Curing, StoringofHides N N N N N N N C O N WholesalePrintingand Distribution N N N N N N O O O N WoodProduct Manufacturingand Assembly N N N N N N O O O N Offices and Office Products: C-1 C-2 C-3 C-4 C-4A C-5 M-1 M-1.5 M-2 DOD Restrictions and Requirements: Office O O O O O O C C N O OfficeServiceand Supplies O O O O O* O N C N O Officesrelatedto IndustrialUse N N N N N N O O O N Printing,Publishing O O O O O O O O N O Telemarketing,Call Center O O O O O O C C N N Public and Semi Public Uses: C-1 C-2 C-3 C-4 C-4A C-5 M-1 M-1.5 M-2 DOD Restrictions and Requirements: AgriculturalUses N N N N N N N N N N Churches,Religious Institutions C C C C C C C C N C ConventionCenter O O N O N O N N N O Hospital N N O N N N N N N N
CHAPTER 8 DEVELOPMENT REGULATIONS
72 Lodge,Club, Non-profit/frat.Org. C C C C C C C C N C Park,PublicorPrivate O O O O O O O O O O ParkingGarage, PublicorPrivate O O O O O O O O O O PublicTransportation Station O O O O O O O O O O RVPark,PublicorPrivate C N N C N C C C N N Referto8.0615(14) PoliceorFireStation: PublicSafetyor EmergencyServices O O O O O O O C C C Schools,PublicorPrivate C C C C C C C C N C CityOwnedUtilityor PublicFacility O O O O O O O O O O Retail Uses: C-1 C-2 C-3 C-4 C-4A C-5 M-1 M-1.5 M-2 DOD Restrictions and Requirements: BicycleSalesandService O O N O O* O N O N O BulkyRetail (includingfurniture) O O N O O O N O N O Excludesequipmentand heavyequipment. ContractorSupplies (enclosed) O O N O O N O O O O AlsocalledBuilding Supplies(nonlandscaping). ContractorSupplies (outdoors) O C N C O N N O N C Delicatessen O O O O O* O C C N O DrugStore,Pharmacy O O O O O* O N O N O EquipmentSales,Service &Rental O O N O O N N O N C ExcludesHeavyEquipment SalesandService. Florist O O O O O* O N O N O Gallery,Studio O O N O O O N O N O GeneralRetail O O N O O* O N N N O Gift/CardShop O O O O O* O N N N O GroceryStore,Market O O N O O** O N N N O HardwareStore O O N O O* O N C N O HeavyEquipmentSales O N N N N N O C O N Onlypermittedw/primary serviceuseinMZone. HeavyEquipmentService O N N N N N O C O N HeavyEquipment Storage (outdoor) N N N N N N N C O N MedicalSupplies(Retail) O O O O O N N C N O Mobile/Manufactured HomeSales&Service O N N C N N N N N N Novelty,Specialty, VarietyStore O O C O O* O N N N O Includesmusic,artsupply, electronicequipment, sportinggoods. OutdoorMerchandise Display,Other O C N O O N N C N C Nonstoragerelated;for retailsales. PetShop O O N O O O N N N O PlantNursery O N N O O O N C N N ThriftStore-1 O O O O N O N N N O Service Commercial Uses: C-1 C-2 C-3 C-4 C-4A C-5 M-1 M-1.5 M-2 DOD Restrictions and Requirements:
CHAPTER 8 DEVELOPMENT REGULATIONS

CHAPTER 8 DEVELOPMENT REGULATIONS

O*Maximumsize=10,000squarefeet

O**Maximumsize=20,000squarefeet

[Section 8.0190 amended by Ord. #2012-10 passed August 14, 2012]

[Section 8.0190 amended by Ord. #2015-04 passed May 19, 2015]

[Section 8.0190 amended by Ord. #2016-17 passed January 31, 2017]

[Section 8.0190 amended by Ord. #2017-12 passed December 12, 2017]

[Section 8.0190 amended by Ord. #2018-09 passed September 11, 2018]

[Section 8.0190 amended by Ord. #2020-15 passed November 10, 2020]

[Section 8.0190 amended by Ord. #2022-04 passed June 28, 2022]

[Section 8.0190 amended by Ord. #2022-09 passed December 13, 2022]

73 ApplianceandComputer Repair O O N O O* N N N N O Includesstereos,electronic equipment,residential appliances. Bank,FinancialInstitution O O N O O C N N N O Beauty&BarberShops& Salons(Includingspas) O O O O O* O N N N O ContractorService O N N O O N O O O N Enclosedwithinabuilding (exceptinM-2zone); includesequipmentrentals andsales. Contractor'sYard C N N N N N C O O N Includesoutdoorstorageof equipmentandbuilding supplies. ChildCareFacility O O O O O O C C N O Ifafacilityispartofan industrialdevelopmentand withinthemanufacturing structure,aconditionaluse permitisnotrequired. DryCleaner(drop-off only) O O N O O* O N C N O DryCleaner(fullservice) O C N C O* N N C N C Kennel C N N C N N O C O N Laundromat O O N O O O N C N O MiniStorage C N N C N N C C N N SeeSection8.0615(17). Mortuary,FuneralHome O O O N N O N C N O Motel,Hotel O O C O O O C N N O PrintingandCopying Store O O N O O* O N C N O VeterinarianServices O O O O O O O C O C FullyenclosedinCzones; nooutdoorkennels.

CHAPTER 8 DEVELOPMENT REGULATIONS

8.0195Table D, Minimum Standards. The following minimum standards are required in each of the Commercialand Industrial zones as follows (all distances aremeasured in feet):

*Theminimumlotsizeshallbedeterminedbasedondemonstrationoftheabilitytodevelopthesiteinaccordancewiththezonestandards,offstreetparkingstandards,Site&DesignReviewStandards,landscapingrequirementsandotherapplicableDevelopmentCodeprovisionswithout adverseimpacttowaterandlandresourcequalityandadjoiningproperties.

*ResidentialusespermittedinCommercialzonesshallbesubjecttothedensitystandardsfortheR-5zone,exceptfortheC-2,C-3zoneand DowntownOverlayDistrict,forwhichthereisnomaximumdensitystandard.

A Arearyardabuttinganalleyshallbe25feetfromthepropertylinetofoundationwhenthealleyisusedtoservicethecommercialestablishment and10feetinothercases.

B Maximumbuildingheightislimitedto45feetforallstructureswithinonefullcityblockofaresidentialzone.Whereallowedbuildingsover45feet shallconformtheUpperFloorSetbackStandardsintheDowntownOverlayZoneSiteandDesignStandardsinSection8.0175(5).

C RearyardsalongthenorthsideofHighlandAvenue/Highway126betweenSW23rdandSW27thStreetsshallhaveaminimumarterialsetback of25feet.Allotherrearsetbacksadjacenttoarterialsshallbe50feet.

D TheminimumsetbackbetweenastructureandanexistinguseintheC-5zoneshallbe5feetfromthepropertylineand10feetfromany adjacentstructureonthesubjectsiteoradjacentproperty.

74
C-1 C-2 C-3 C-4 C-4A C-5 M-1 & M-1.5 M-2 LLI DOD Minimum Yard Setbacks Front LocalStreet 10 H 5 10 10 10 10 10 10 10 H 2 Collector 25 25 25 25 25 25 25 25 Arterial 50 50 50 50 50 50 50 50 InteriorSide Standard D 5 F 10-15 F 1015 10-15 AdjacenttoR-Zone 25 25 25 25 Street Side LocalStreet 10 10 10 10 50 10 10 10 Collector 25 25 25 25 50 25 25 25 Arterial 50 25 50 50 50 50 50 50 Rear Interior D 5 10 10 10 LocalStreet 10 10 10 10 50 10 10 10 Collector 25 25 25 25 50 25 25 25 Arterial 50 25 C 25/50 25 50 50 50 50 AdjacenttoR-Zone 25 25 25 25 50 Adjacenttoalley A 10/25 A 10/25 A 10/25 A 10/25 Maximum FrontYard Setback I 15 I 10 Maximum Building Height 60 B 50/60 60 60 60 60 60 60 60 G 50/60/75 Minimum Street Frontage StandardStreet 50 50 50 50 50 50 50 50 50 Cul-de-sac 30 30 30 30 30 30 30 30 30 Minimum Landscaping 15% J 15% 15% 15% 15% 15% 15% 15% 15% 0% Minimum Lot Size* 200acres for1st Lot.50 acres

CHAPTER 8 DEVELOPMENT REGULATIONS

E Nouselocatedinanindustrialzoneadjacenttooracrossthestreetfromaresidentialzoneshallexceed60%ofthelotareaincludingbuildings, storageorfacilities,andoff-streetparkingandloading.Mostofthelandscapingrequiredonindustriallotsthatabutresidentialzonesispermittedin betweentheindustrialuse/residentialuses.

F Theminimumsideyardinanindustrialzoneshallbe10feetfor1and2storybuildingsand15feetfor3storybuildings.

G Maximumbuildingheightislimitedto50feetforallstructureswithinonefullcityblockofaresidentialzone.Whereallowed,buildingsover50 feetshallconformtheDowntownOverlayDistrictSiteandDesignStandardsinSection8.0175(5).Themaximumbuildingheightforstructures westofSW5th Streetis60feet.Themaximumbuildingheightforstructureseastof5th Streetis75feetandmaybeincreasedabove75feetifa ConditionalUsePermitforthestructureisapprovedbyaHearingsandReviewAuthority.

H Existingzero-lotlinestructuresasofAugust12,2008,shallbeexemptfromthisstandard.Atthetimethefrontfaçadeofabuildingorabuilding isdemolishedasdefinedbythisCode,thenthebuildingshallcomplywiththisstandardunlessavarianceisapproved.

I Fullblockdevelopmentsrequireaminimumof50percentofthebuildingfaçadetobedevelopedtotheminimumsetback.Asphaltisprohibitedin thefrontyardsetback(concrete,pavers,landscapingareallowed).

J Maybemetthroughwalkways,playareas,plazas,pocketparks,andpicnicareas.

[Section 8.0195 amended by Ord. #2012-10 passed August 14, 2012]

[Section 8.0195 amended by Ord. #2014-12 passed May 27, 2014]

[Section 8.0195 amended by Ord. #2015-11 passed September 22, 2015]

[Section 8.0195 amended by Ord. #2018-09 passed September 11, 2018]

[Section 8.0195 amended by Ord. #2020-15 passed November 10, 2020]

[Section 8.0195 amended by Ord. #2022-04 passed June 28, 2022]

75

Turn static files into dynamic content formats.

Create a flipbook
Issuu converts static files into: digital portfolios, online yearbooks, online catalogs, digital photo albums and more. Sign up and create your flipbook.