

















![]()


















*Customary for Seller to Pay
TypeofFinancing
RealEstateAgentCommissions
Reconveyance/ReleaseFees
PrepaymentPenalties(IfApplicable)
Owner'sTitleInsurance
EscrowFee
TaxProrations
LienSearch(ifapplicable)
Mortgages&Encumbrances
AnyPropertyTaxDue
Buyer'sLenderFees(variesbylender)
*Customary for Buyer to Pay
TypeofFinancing
AppraisalFee
LoanOriginationFee/Discount
CreditFee
MortgageInsurance(ifapplicable)
ReserveSetUpFee(ifapllicable)
FireInsurance1year(homeownerspolicy)
Floodinsurance(ifapplicable)
FloodandTaxCertifications
PrepaidInterest
HomeOwnersAssociationFees(ifapplicable)
VAFundingFee
RecordingFee
TaxProration
EscrowFee
LendersTitleInsurance
* Items listed are intended to represent only what may be customarily charged and may not reflect actual charges at closing. Consult with your real estate professional or title company representtaive for actual charges specific to your transaction.
Seller to pay full escrow fee (includes buyer escrow fee)




This week the median list price for Bend, OR 97701 is $695,000 with the market action index hovering around 37. This is an increase over last month's market action index of 36 Inventory has decreased to 176.
This answers “How’s the Market?” by comparing rate of sales versus inventory.
Median List Price $695,000 Median Price of New Listings $641,000 Per Square Foot $363
Days on Market 74
While the Market Action Index shows some strengthening in the last few weeks, prices have settled in a bit of a plateau. We are currently in a Seller’s market so prices will likely resume their climb should this trend persist
Market Segments
Slight Seller's Advantage
Each segment below represents approximately 25% of the market ordered by price.
We continue to see prices in this zip code bouncing around this plateau. Look for a persistent up-shift in the Market Action Index before we see prices move from these levels.
$1.2M
In the quartile market segments, we see prices in this zip code have settled at a price plateau across the board. Prices in all four quartiles are basically mixed. Look for a persistent shift (up or down) in the Market Action Index before prices move from these current levels.
The market plateau is seen across the price and value. The price per square foot and median list price have both been reasonably stagnant. Watch the Market Action Index for persistent changes as a leading indicator before the market moves from these levels.
Inventory has been climbing lately. Note that rising inventory alone does not signal a weakening market. Look to the Market Action Index and Days on Market trends to gauge whether buyer interest is keeping up with available supply.
While the Market Action Index shows some strengthening in the last few weeks, prices have settled in a bit of a plateau. We are currently in a Seller’s market so prices will likely resume their climb should this trend persist.
Not surprisingly, all segments in this zip code are showing high levels of demand. Watch the quartiles for changes before the whole market changes. Often one end of the market (e.g. the high-end) will weaken before the rest of the market and signal a slowdown for the whole group.
The properties have been on the market for an average of 62 days. Half of the listings have come newly on the market in the past 41 or so days. Watch the 90-day DOM trend for signals of a changing market.
It is not uncommon for the higher priced homes in an area to take longer to sell than those in the lower quartiles.

AreaProfiled:VistaRidge
ReportDate: 10/11/2024
SalesDates: 01/11/2001-11/22/2023
NumberofParcels:50
WaterfrontParcels:0
AverageSalePricebyYear:01/01/2016-10/11/2024

*18sale(s)areincludedinthegraph
SalesStatisticsbyYear:01/01/2016-10/11/2024
ParcelswithViews:0
AverageLengthofResidence
*39parcel(s)areincludedinthecalculation
**11parcel(s)withnosaledateareexcluded fromthecalculation
AverageAgeofHome 22yr(s) YearBuilt



SUBJECTPROPERTY
202338 DeschutesCounty
ADDRESS
63345BrodyLn
Bend,OR97701
OWNER Contreras,MariaAlicia
DATE 10/11/2024
PREPAREDBY DanettaRider danettar@deschutestitle.com


Parcel#:202338
TaxLot:171216DB00100
Owner:Contreras,MariaAlicia
CoOwner:
Site:63345BrodyLn BendOR97701
Mail:63345BrodyLn BendOR97701
LandUse:101-Residential-Improved(typicalofclass)
StdLandUse:RSFR-SingleFamilyResidence
Legal:VISTARIDGELot:25
Twn/Rng/Sec:T:17SR:12ES:16Q:SEQQ:NW
ASSESSMENT&TAXINFORMATION
MarketTotal:$577,710.00
MarketLand:$214,500.00
MarketImpr:$363,210.00
AssessmentYear:2023
AssessedTotal:$249,740.00
Exemption:
Taxes:$3,992.54
LevyCode:1-001
LevyRate:159868
SaleDate:08/10/2009
SaleAmount:$140,00000
Document#:34161
DeedType:Deed
LoanAmount:$137,46400
Lender:WELLSFARGOBKNA
LoanType:FHA
InterestType:
TitleCo:WESTERNTITLE&ESCROWCO
PROPERTYCHARACTERISTICS
YearBuilt:2001
EffYearBuilt:
Bedrooms:5
Bathrooms:35 #ofStories:2
TotalSqFt:2,080SqFt
Floor1SqFt:1,040SqFt
Floor2SqFt:1,040SqFt
BasementSqFt:
Lotsize:0.20Acres(8,712SqFt)
GarageSqFt:440SqFt
GarageType:
AC:
Pool:
HeatSource:WallFurnace
Fireplace:
BldgCondition:Average Neighborhood:2 Lot:25
Block: Plat/Subdiv:VistaRidge
Zoning:CityOfBend-RS-StandardDensityResidential SchoolDist:1-Bend-LaPineAdministrative
Census:3037-001101
Recreation:
SentryDynamics,Inc anditscustomersmakenorepresentations,warrantiesorconditions,expressorimplied,astotheaccuracyorcompletenessofinformationcontainedinthisreport

Report Date: 10/11/2024 10:55:22 AM
The information and maps presented in this report are provided for your convenience. Every reasonable effort has been made to assure the accuracy of the data and associated maps. Deschutes County makes no warranty, representation or guarantee as to the content, sequence, accuracy, timeliness or completeness of any of the data provided herein. Deschutes County explicitly disclaims any representations and warranties, including, without limitation, the implied warranties of merchantability and fitness for a particular purpose. Deschutes County shall assume no liability for any errors, omissions, or inaccuracies in the information provided regardless of how caused. Deschutes County assumes no liability for any decisions made or actions taken or not taken by the user of this information or data furnished hereunder.
Review of digital records maintained by the Deschutes County Assessor’s Office, Tax Office, Finance Office, and the Community Development Department indicates that there are no special tax, assessment or property development related notations associated with this account. However, independent verification of the presence of other Deschutes County tax, assessment, development, and additional property related considerations is recommended. Confirmation is commonly provided by title companies, real estate agents, developers, engineering and surveying firms, and other parties who are involved in property transactions or property development. In addition, County departments may be contacted directly to discuss the information.

EDUCATION SERVICE TAX DISTRICT HIGH DESERT EDUCATION SERVICE DISTRICT (541) 693-5600 145 SE SALMON AVE, REDMOND, OR 97756 COLLEGE TAX DISTRICT CENTRAL OREGON COMMUNITY COLLEGE (541) 383-7700 2600
COLLEGE WAY, BEND, OR 97703
PARK & RECREATION DISTRICT BEND PARK & RECREATION DISTRICT (541) 389-7275 799 SW COLUMBIA ST, BEND, OR 97702
(541)
No
OR
BEND, OR 97709
63345 BRODY LN BEND SITUS ADDRESS:
CONTRERAS, MARIA ALICIA 63345 BRODY LN BEND OR 97701 Please include this coupon with payment. Please do
$3,872.76
is your copy and not a bill if your mortgage company is responsible for paying your taxes. This statement was sent to: Wells Fargo Real Estate

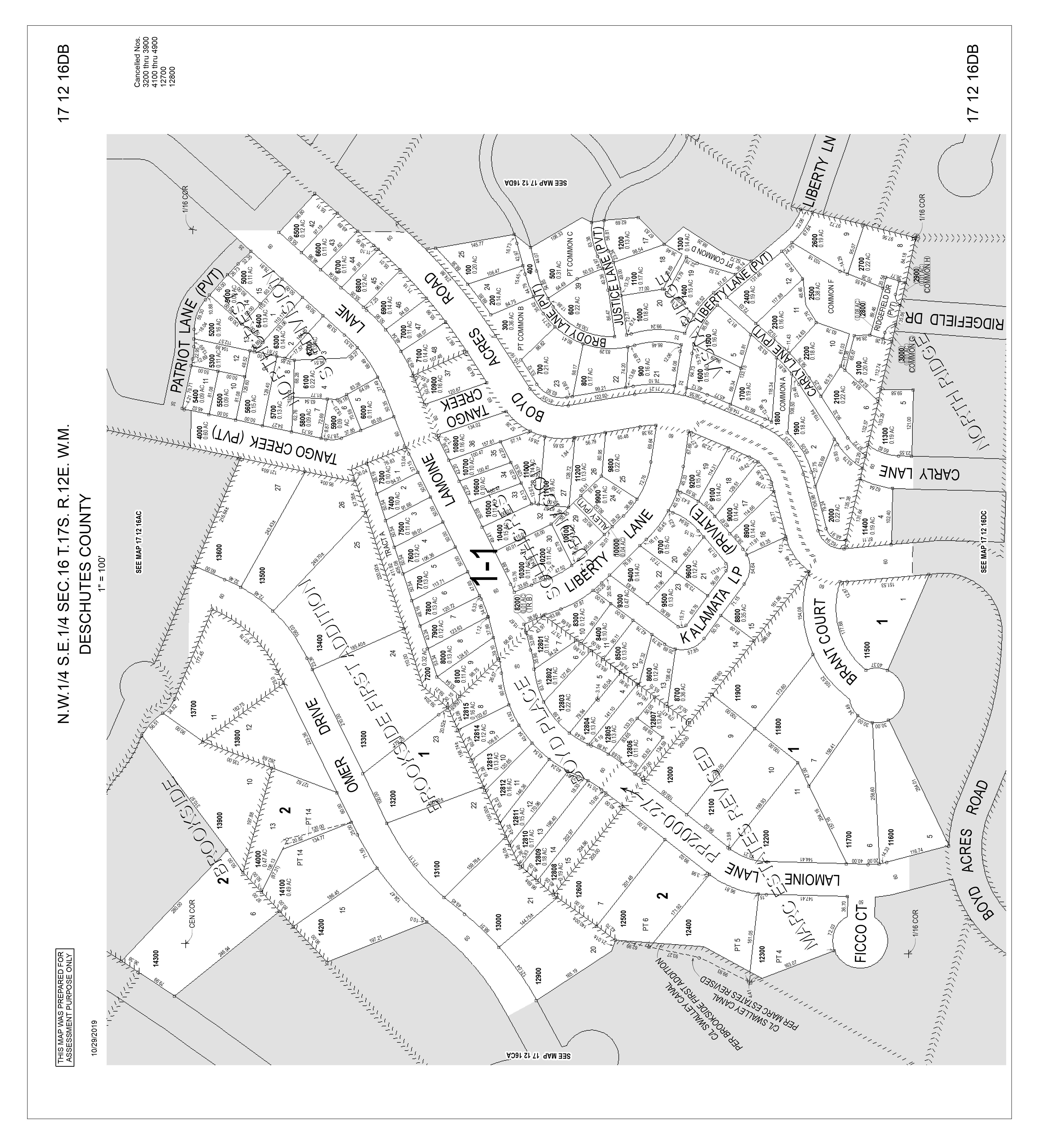
Roa d Map Map an d Tax l ot: 171 21 6D B 00100







ParcelID:202338
TaxAccount#:171216DB00100
63345BrodyLn, BendOR97701
Thismap/platisbeingfurnishedasanaidinlocatingtheherein describedlandinrelationtoadjoiningstreets,naturalboundariesand otherland,andisnotasurveyofthelanddepictedExcepttotheextent apolicyoftitleinsuranceisexpresslymodifiedbyendorsement,ifany, thecompanydoesnotinsuredimensions,distances,locationof easements,acreageorothermattersshownthereon


ParcelID:202338
TaxAccount#:171216DB00100
63345BrodyLn, BendOR97701
Thismap/platisbeingfurnishedasanaidinlocatingtheherein describedlandinrelationtoadjoiningstreets,naturalboundariesand otherland,andisnotasurveyofthelanddepictedExcepttotheextent apolicyoftitleinsuranceisexpresslymodifiedbyendorsement,ifany, thecompanydoesnotinsuredimensions,distances,locationof easements,acreageorothermattersshownthereon

CC&R’s Hard Copy Available Upon Request Or Click the Hyperlink on the next page to view Electronically
Copies
or Click on hyperlink below to view CC&R’s
https://issuu.com/infodeschutestitle/docs/vista_ridge_cc_r_s?fr=sZDIxODc2NjMxNjk





Tumalo Irrigation District
Sw alley Irrigation Dist (DRIC)
Central O rego n Irrigation District
Arnold Irrigation District








Tumalo State Park
State Park
Property
Riley Ranch Nature Reserve
Archie Briggs Natural Area
Harvest Park
Empire Crossing Park
Northpointe Park
Redmond-Bend Juniper State Scenic Corridor
Sawyer Uplands Park
Summit-Sylvan Trail
Sylvan Park
Summit Park
Hillside Park
Sawyer Overlook Park
Awbrey Village Park
Magill's Landing Natural Area
Hillside Park II
Sunset View Park
Sawyer Park
Magill's Conservation Easement
Riverside Natural Area
Pageant Park
Rock Ridge Park Site
Boyd Park
Canal ROW Park
Stover Park
Orchard Park
Brandis Square Park
Dohema River Access
Old B end Gym

Lava Ridge Natural Area
Pilot Butte Canal Natural Area
Pine Nursery Park
Eagle Park
Big Sky Park & Sports Complex Al Moody Park
Hollinshead Park
Goodrich Pasture Park
Pilot Butte State Park
Juniper Park
Pilot Butte Neighborhood Park
Mountain View Park
Providence Park







ParcelID:202338
TaxAccount#:171216DB00100
63345BrodyLn, BendOR97701
Thismap/platisbeingfurnishedasanaidinlocatingtheherein describedlandinrelationtoadjoiningstreets,naturalboundariesand otherland,andisnotasurveyofthelanddepictedExcepttotheextent apolicyoftitleinsuranceisexpresslymodifiedbyendorsement,ifany, thecompanydoesnotinsuredimensions,distances,locationof easements,acreageorothermattersshownthereon



Deschutes
Police Dept. (Non-Emergency) ........................ 541.388.0170
Post
Redmond Library .............................................. 541.312.1050
Redmond
Hugh Hartman ................................................... 541.923.8900
John Tuck ........................................................... 541.923.4884
M.A. Lynch ......................................................... 541.923.4876
Sage .................................................................... 541.316.2830 Terrebonne



SubjectParcel
SiteAddress 63345BrodyLn BendOR97701
Parcel 202338
SchoolDistrict 1Bend-LaPineAdministrative
AssignedPrimarySchool LavaRidgeElementarySchool
AssignedMiddleSchool SkyViewMiddleSchool
AssignedHighSchool MountainViewSeniorHighSchool
PrimarySchool
LavaRidgeElementary School
PonderosaElementary
SchoolMap

School#1
SchoolDistrict Bend-LaPineAdministrativeSD1
School LavaRidgeElementarySchool
DistFromSubject055miles
SiteAddress 20805CooleyRd City Bend Zip 97701
Type 1-Regularschool Students 434
Charter No Magnet
Title1Elig 2-No
Free/Reduced Lunch 97
Student/Teacher Ratio 1824
Title1 6-NotaTitleIschool
FTETeachers Count 2380
GradeLevels Kindergarten-5thGrade
Male 217 Female 216
School#2
SchoolDistrict Bend-LaPineAdministrativeSD1
DistFromSubject063miles
School SkyViewMiddleSchool SiteAddress 63555NE18thSt
City Bend Zip 97701
Type 1-Regularschool Students 586
Charter No Magnet
Title1Elig 2-No
Free/Reduced Lunch 160
Student/Teacher Ratio 2043
Title1 6-NotaTitleIschool
FTETeachers Count 2869
GradeLevels 6thGrade-8thGrade
Male 305 Female 281
School#3
SchoolDistrict Bend-LaPineAdministrativeSD1
DistFromSubject097miles
School PonderosaElementary SiteAddress 63100NEPurcell
City Bend Zip 97701
Type 1-Regularschool Students 471
Charter No Magnet
Title1Elig 2-No
Title1 6-NotaTitleIschool
Free/Reduced Lunch 119 FTETeachers Count 2447
Student/Teacher Ratio 1925
GradeLevels Kindergarten-5thGrade
Male 257 Female 213
School#4
SchoolDistrict Bend-LaPineAdministrativeSD1
DistFromSubject197miles
School MountainViewSeniorHighSchool SiteAddress 2755NE27thSt
City Bend Zip 97701
Type 1-Regularschool Students 1221
Charter No Magnet
Title1Elig 2-No
Free/Reduced Lunch 288
Student/Teacher Ratio 2096
Male 629
Title1 6-NotaTitleIschool
FTETeachers Count 5825
GradeLevels 9thGrade-12thGrade
Female 580

Students We Serve

PRINCIPAL: Gary DeFrang | GRADES: K-5 | 20805 Cooley Rd, Bend 97701 | 541-355-2400
Students


Our promise is for every student to be known by name, strength and need; and to graduate ready for college, career and citizenship. Our focus is on people, starting with our teachers and school staff and extending to students, families and community partners. We ask teachers, school leaders and staff to hold our students to high expectations, to model those standards in their own behavior and to provide all students the support they need to succeed.
The Oregon Department of Education is partnering with school districts and local communities to ensure a 90% ontime, four year graduation rate by 2027. To progress toward this goal, the state will prioritize efforts to improve attendance, provide a well-rounded education, invest in implementing culturally responsive practices, and promote continuous improvement to close opportunity and achievement gaps for historically and currently underserved students.
Bend-La Pine Schools is committed to creating a safe and welcoming environment for all students. Our strategic priorities include
· Maximizing safety for students, staff, and the community.
· Ensuring physically and psychologically safe, secure and orderly learning environments.
· Building upon our foundation of prevention, intervention, emotional health and crisis preparedness.








Bend-La Pine Schools is committed to creating a safe and welcoming environment for all students. Our strategic priorities include
· Maximizing safety for students, staff, and the community.
· Ensuring physically and psychologically safe, secure and orderly learning environments.
· Building upon our foundation of prevention, intervention, emotional health and crisis preparedness.
Bend-La Pine Schools values extracurricular activities, including interscholastic sports, academic clubs, service clubs and more. To learn more about the activities offered at our school, connect with our staff or visit our school website for details.
We ask parents and families to partner with us in giving children the support they need to succeed at school. We ask community partners to consider committing more time and expertise. We offer numerous ways for interested families and community members to connect with our schools — through volunteering, attending school activities and events and much more.
We offer numerous ways for interested community members and businesses to connect with our schools. We partner with local businesses and community agencies to provide students with learning opportunities. Contact our schools to learn more about ways to connect.

Students We Serve

PRINCIPAL: Julie Stroinski | GRADES: 6-8 | 63555 NE 18th St, Bend 97701 | 541-355-7600

Students

Our promise is for every student to be known by name, strength and need; and to graduate ready for college, career and citizenship. Our focus is on people, starting with our teachers and school staff and extending to students, families and community partners. We ask teachers, school leaders and staff to hold our students to high expectations, to model those standards in their own behavior and to provide all students the support they need to succeed.
The Oregon Department of Education is partnering with school districts and local communities to ensure a 90% ontime, four year graduation rate by 2027. To progress toward this goal, the state will prioritize efforts to improve attendance, provide a well-rounded education, invest in implementing culturally responsive practices, and promote continuous improvement to close opportunity and achievement gaps for historically and currently underserved students.
Bend-La Pine Schools is committed to creating a safe and welcoming environment for all students. Our strategic priorities include
· Maximizing safety for students, staff, and the community.
· Ensuring physically and psychologically safe, secure and orderly learning environments.
· Building upon our foundation of prevention, intervention, emotional health and crisis preparedness.








Bend-La Pine Schools is committed to creating a safe and welcoming environment for all students. Our strategic priorities include
· Maximizing safety for students, staff, and the community.
· Ensuring physically and psychologically safe, secure and orderly learning environments.
· Building upon our foundation of prevention, intervention, emotional health and crisis preparedness.
Bend-La Pine Schools values extracurricular activities, including interscholastic sports, academic clubs, service clubs and more. To learn more about the activities offered at our school, connect with our staff or visit our school website for details.
We ask parents and families to partner with us in giving children the support they need to succeed at school. We ask community partners to consider committing more time and expertise. We offer numerous ways for interested families and community members to connect with our schools — through volunteering, attending school activities and events and much more.
We offer numerous ways for interested community members and businesses to connect with our schools. We partner with local businesses and community agencies to provide students with learning opportunities. Contact our schools to learn more about ways to connect.

Students We Serve

PRINCIPAL: Michael Hicks | GRADES: 9-12 | 2755 NE 27th St, Bend 97701 | 541-355-4400
Students

Students
ninth graders in 2018-19 graduating in 2021-22
Students earning a high school diploma or GED within five years. Cohort Includes students who were firsttime ninth graders in 2017-18 finishing in 2021-22
Students enrolling in a two or four year college within 16 months of completing high school in 202021. Data from the National Student Clearinghouse.
from

Our promise is for every student to be known by name, strength and need; and to graduate ready for college, career and citizenship. Our focus is on people, starting with our teachers and school staff and extending to students, families and community partners. We ask teachers, school leaders and staff to hold our students to high expectations, to model those standards in their own behavior and to provide all students the support they need to succeed.
The Oregon Department of Education is partnering with school districts and local communities to ensure a 90% ontime, four year graduation rate by 2027. To progress toward this goal, the state will prioritize efforts to improve attendance, provide a well-rounded education, invest in implementing culturally responsive practices, and promote continuous improvement to close opportunity and achievement gaps for historically and currently underserved students.
Bend-La Pine Schools is committed to creating a safe and welcoming environment for all students. Our strategic priorities include
· Maximizing safety for students, staff, and the community.
· Ensuring physically and psychologically safe, secure and orderly learning environments.
· Building upon our foundation of prevention, intervention, emotional health and crisis preparedness.








Bend-La Pine Schools offer a range of advanced coursework and opportunities for students. These include, but are not limited to, Advanced Placement courses, International Baccalaureate programs of study, dual credit courses (in which students can obtain college credit in school) and much more. Contact counseling offices to learn more about potential options.
Bend-La Pine Schools’ cutting-edge rigorous and relevant Career and Technical Education courses prepare students for a wide range of high-wage, high-skill, highdemand careers. More than 2,300 Bend-La Pine Schools’ students enrolled in CTE courses last year, with high schools offering more than 148 CTE courses. Students have the opportunity to explore a variety of CTE options including agri-sciences, business, culinary, engineering, forestry, future energy and power, graphic design and manufacturing technologies.
Bend-La Pine Schools values extracurricular activities, including interscholastic sports, academic clubs, service clubs and more. To learn more about the activities offered at our school, connect with our staff or visit our school website for details.
We ask parents and families to partner with us in giving children the support they need to succeed at school. We ask community partners to consider committing more time and expertise. We offer numerous ways for interested families and community members to connect with our schools — through volunteering, attending school activities and events and much more.






























































https://www.visitbend.com/food-drink/restaurants/food-carts/
https://www.google.com/search?q=food+carts+near+me&rlz=1C1GCEU_enUS874US875&oq=food+ca rts+&aqs=chrome.2.69i57j0i512j0i457i512j0i402j46i175i199i512l2j0i512l4.9132j0j15&sourceid=chrom e&ie=UTF-8
https://www.menupix.com/oregon/cn/158/370037/Food-Trucks-Prineville
https://www.google.com/search?q=food+trucks+in+sisters+oregon&rlz=1C1GCEU_enUS874US875&ei =nMxVYpS4Ns2dkPIPufeDoAg&oq=food+trucks+in+Sisters&gs_lcp=Cgdnd3Mtd2l6EAEYADIFCAAQgAQ yBQgAEIYDMgUIABCGAzoLCC4QgAQQxwEQrwE6BggAEBYQHkoECEEYAEoECEYYAFAAWPcKYNAiaABw AXgAgAHRAYgBugmSAQUwLjYuMZgBAKABAcABAQ&sclient=gws-wiz
https://www.google.com/search?q=food+trucks+in+madras&rlz=1C1GCEU_enUS874US875&ei=nMxV YpS4Ns2dkPIPufeDoAg&ved=0ahUKEwiU9pOLm4_3AhXNDkQIHbn7AIQQ4dUDCA8&uact=5&oq=food +trucks+in+madras&gs_lcp=Cgdnd3Mtd2l6EAMyBggAEBYQHjIFCAAQhgMyBQgAEIYDOgcIABBHELADO goIABBHELADEMkDOggIABCABBDJAzoFCAAQkgM6BQgAEIAEOgsILhCABBDHARCvAUoECEEYAEoECEYY AFDeEliMGmDVHGgBcAF4AIABrQGIAZoHkgEDMC42mAEAoAEByAEHwAEB&sclient=gws-wiz https://www.google.com/search?q=food+trucks+in+culver+oregon&rlz=1C1GCEU_enUS874US875&ei =bM1VYqjDC_bTkPIP_Zuj2AY&ved=0ahUKEwioqYDum4_3AhX2KUQIHf3NCGsQ4dUDCA8&uact=5&oq =food+trucks+in+culver+oregon&gs_lcp=Cgdnd3Mtd2l6EAMyBQghEKsCOgoIABBHELADEMkDOgcIABB HELADOgYIABAWEB46BQgAEIYDOgUIIRCgAUoECEEYAEoECEYYAFD2BljNDmCFEGgBcAF4AIABswGIAcQ JkgEDMC43mAEAoAEByAEEwAEB&sclient=gws-wiz
https://pdx.eater.com/maps/best-restaurants-bend-oregon-guide
https://www.visitbend.com/food-drink/restaurants/vegan-vegetarian-gluten-free/
https://www.google.com/search?q=healthy+eats+in+central+oregon&rlz=1C1GCEU_enUS874US875& ei=Vs5VYo6xJp_TkPIPjIqV4AI&ved=0ahUKEwiOtOXdnI_3AhWfKUQIHQxFBSwQ4dUDCA8&uact=5&oq =healthy+eats+in+central+oregon&gs_lcp=Cgdnd3Mtd2l6EAM6BggAEAcQHjoICAAQBxAFEB46BQgAEI YDSgQIQRgASgQIRhgAUABYjyhg6D5oAnABeAGAAe8DiAHND5IBCjIuMTAuMS4wLjGYAQCgAQHAAQE &sclient=gws-wiz
https://forgetsomeday.com/things-to-do-in-bend-oregon-with-kids/ https://www.cascadiakids.com/things-do-kids-bend-oregon/
https://oldmilldistrict.com/things-to-do-with-kids/
https://www.visitbend.com/things-to-do/activities/kid-family-friendly-activities/
https://visitcentraloregon.com/dining/food/farmers-market/
https://www.localharvest.org/prineville-or/farmers-markets
https://hdffa.org/its-farmers-market-season/
https://redmondoregonfarmersmarket.com/
https://www.sistersfarmersmarket.com/
https://www.localharvest.org/redmond-or/farmers-markets
https://www.madrassaturdaymarket.com/
https://www.visitbend.com/food-drink/restaurants/brewery-pub/
https://www.google.com/search?q=breweries+in+central+oregon&rlz=1C1GCEU_enUS874US875&oq =&aqs=chrome.0.69i59i450l8.68566434j0j15&sourceid=chrome&ie=UTF-8
https://visitcentraloregon.com/dining/drinks/breweries/redmond/ https://beermebend.com/bend-oregon-brewery-locations/
https://www.google.com/search?q=prineville+breweries&rlz=1C1CHBD_enUS1025US1025&oq=prine ville+breweries&aqs=chrome..69i57j0i22i30j0i390i650.4688j0j7&sourceid=chrome&ie=UTF-8
https://www.google.com/search?q=breweries+in+madras+oregon&rlz=1C1CHBD_enUS1025US1025& oq=breweries+in+madras+oregon&aqs=chrome..69i57.6398j0j4&sourceid=chrome&ie=UTF-8
https://www.niche.com/k12/search/best-private-schools/c/deschutes-county-or/ https://movingtobend.com/relocation-blog/2021/a-guide-to-public-and-private-schools-in-bendoregon/
https://www.countyoffice.org/bend-or-private-schools/
https://www.visitbend.com/things-to-do/activities/winter-fun/
https://visitcentraloregon.com/things-to-do/activities/winter/
https://www.google.com/search?q=winter+activities+central+oregon&rlz=1C1CHBD_enUS1025US102 5&oq=winter+activities+central+oregon&aqs=chrome..69i57j0i22i30l2j0i390i650l3j69i60l2.14288j0j4 &sourceid=chrome&ie=UTF-8
https://www.riversplacebend.com/games
https://beermebend.com/bend-oregon-brewery-locations/
https://www.bendsource.com/bend/bingo-with-bren-supporting-saving-grace/Event?oid=16320982
https://www.visitbend.com/food-drink/astro-lounge/
https://theyardfoodpark.com/events/
https://www.silvermoonbrewing.com/events
https://www.bendsource.com/bend/tuesday-night-trivia-in-redmond/Event?oid=18829261
https://visitcentraloregon.com/calendar-of-events
https://www.bendsource.com/bend/EventSearch?v=g#grid
https://www.visitbend.com/event-calendar/









Where the commute times are short and breathtaking views await you at every turn. The region features dramatic snow-capped mountain ranges and high desert plateaus within Deschutes, Crook and Jefferson counties.
Located halfway between San Francisco and Seattle, one of the hottest small metropolitan markets in the U.S. is Central Oregon. In the last decade the region has seen some of the highest sustained GDP growth, job growth and population growth. With these factors in mind, The Milken Institute has named the region the best small metropolitan in the nation four years in a row – an unprecedented feat no other location has ever received.
Central Oregon is pulling extraordinary talent and capital, fostering a diverse and highly entrepreneurial business ecosystem. Deschutes County received the most investment in Oregon in 2022, according to Smartasset. Lured by natural scenic beauty and big city amenities without big city costs or hassle, people are learning that having a true work-life balance
possible. Employees are
and companies are more innovative and capital-efficient. All in a region dominated by small to mid-sized firms that compete
and win.
Regional Population: 253,761
(2021 estimates from Portland State University)
Regional Labor Force: 123,953
(Seasonally adjusted total for 2021 from Oregon Employment Department)
(2020 estimate from the Bureau of Economic Analysis)
*Bureau of Economic Analysis data is only available for the Bend-Redmond MSA
$54,390

Access to and from our region has never been easier with five national carriers flying up to 54 segments daily to nine international airports. Central Oregon is served by one of the most vibrant and successful regional airports in the country at Redmond (RDM).

In-migration has been the dominating factor in the region’s growth. With millions of visitors annually, Central Oregon continues to attract thousands of new residents from all over the country each year for it’s outdoor amenities, arts and culture opportunities, quality healthcare, and a growing education system.
“Central Oregon’s economic growth is stronger than the state and nation overall. The primary reason is the high quality of life that attracts new residents. Faster population growth means local businesses can hire and expand at a faster rate due to the influx of working-age migrants and the growing labor force.”
Josh Lehner Economist, Oregon Office of Economic Analysis
With over 4.5 million visitors flocking to Central Oregon each year, it proves a great introduction to our region’s culture, lifestyle and a great first impression for businesses. Central Oregon and the Bend-Redmond MSA continually top the nation in population growth. In fact, Bend has been among the 15 fastest growing cities in the U.S. five of the last six years. While our population grows, so does our workforce. We’re cultivating a community that has consciously decided to live here and attracting new talent pools to serve the increasing demand for labor.

We guide employers outside the region through the relocation process as a resource for regional data, incentives, talent, site selection, and A-Z problem solving.
Oregon offers more incentive programs to traded-sector* businesses than Washington or California. Even without taking those incentives into consideration, Oregon is still a more cost-effective choice for doing business. Contact EDCO for a detailed look at the business costs in Central Oregon. *companies that sell their products or services outside the area, bringing new jobs and capital investment to the area
Electricity Rate (¢/kWh)
Natural Gas Rate ($/kcf)
& Local Sales Tax Rate




Sources: Tax Foundation 2022, US Energy Information Association (Natural Gas) 2021, US Energy Information Association (Electricity) 2021

“While our move to Central Oregon may have started for personal reasons, it has allowed us to do more with our business than we thought possible. It has allowed us to hire amazing employees – the available talent here in Central Oregon has proven to be of the highest caliber and chocked full of integrity. Sometimes you feel like you can get lost in a big city. In Sisters we have been able to be part of a growing and nurturing business community.” - Wyatt Woods, President and Owner, Holy Kakow

Founded in Portland in 2009, Holy Kakow creates premium organic chocolate sauces and syrups that are used in coffee shops across the nation and globe. After running the business for nearly a decade, Founder Wyatt Woods decided a move to the City of Sisters would be beneficial for his family. The next step was to figure out how to move the successful business. After EDCO’s help with site selection, incentives, permitting, and more, Holy Kakow was able to move their operations into a new building in the Sisters Business Park. The relocation allowed them to scale for growth, even during the pandemic, expanding their employment from three to eight in the span of a couple months. Holy Kakow have their sights set on new product launches. With the backing of the community and the growing number of craft food businesses in Sisters, the company is surrounded by a strong business ecosystem to help them succeed.
Get connected to our growing industry clusters that include: craft brewing/distilling, bioscience, outdoor products, technology, aerospace, and advanced manufacturing.
We link you to tools to help your company including: connections to the local supply chain, talent acquisition, incentives, business finance, market intelligence, and more.
Central Oregon offers a pro-business environment with several incentives and supportive business finance options to encourage economic growth. Oregon also allows corporate net operating losses to be carried forward for up to 15 years without a cap, which can meaningfully reduce your business’s tax liability.
We help you navigate the regional and local real estate market, infrastructure and permitting processes.

For businesses looking to relocate, Central Oregon has a reputation for welcoming new companies. The region offers a tightknit community without sacrificing talent, education opportunities, or quality healthcare. EDCO’s network can help your business streamline decisions when choosing a new home.
We mentor and advise scalable young companies from concept to exit on issues such as access to capital, critical expertise and business strategy.

“The support we’ve received from EDCO and other organizations has been tremendous and allowed us to grow and develop our network and further develop our business in a short time. Their proactive approach to assisting and encouraging entrepreneurship in this region has been paramount to some of the large strides we’ve taken this year.”
- Ryan Goodwin, Founder & Lead Designer Engineer, SherpTek
SherpTek was among the first tenants to take occupancy in the redeveloped Woodgrain mill site, re-branded the “Prineville Campus,” where they design and manufacture modular truck bed systems and accessories to improve the functionality and adaptability of pickup trucks for day-to-day use and outdoor adventures.

SherpTek is an innovator in the automotive/outdoor industry. Their Founder and Lead Design Engineer, Ryan Goodwin, uses composite aerospace materials and construction methods to create a lightweight, yet super durable, precision-engineered product. SherpTek was one of Prineville’s first companies to pitch at EDCO’s Central Oregon PubTalk, an event that showcases local entrpreneurs. The company has been and continues to be supported by EDCO as well as many local and State partners in areas such as business financing, incentive utilization, internship coordination, staffing, network connections, scalability, and pitch coaching. Despite having just moved their start-up to Prineville earlier this year, SherpTek has ingrained itself into the entrepreneurial fabric of the region. They are already expanding their manufacturing facilities, hiring additional employees and training local high school students on their specialized processes.

A driving force for our economic performance is a collaborative and inclusive entrepreneurial community. This is supported via the number of new business registrations, which has outpaced far larger cities. In 2022, AdvisorSmith ranked Bend fifth for Top Midsize Cities where Americans Start the Most Businesses at 3.79 businesses started per 1,000 residents.
The region is large enough to provide resources and access to capital that help new entrepreneurs get started, while still being small enough that those resources are interconnected to support businesses as they grow. Unique to Central Oregon, given its size, are the numerous community resources and assets that are available. Assets managed by EDCO include monthly Central Oregon PubTalks, the Stable of Experts mentorship program and the largest Angel Conference in the PNW, the Bend Venture Conference.
Source: WalletHub, April 2022.

Both Redmond and Bend made WalletHub’s Top 30 list for best cities to start a business at #16 and #17 respectively, based on an index of criteria that included business environment, access to resources and business costs. They were the only two Oregon cities to make it in the top 350 of 1,334 small cities ranked in the index.
We partner with local traded-sector companies to help them grow and expand, offering them the very same incentives and assistance as relocation projects.

“Our flagship manufacturing facility is located in Bend, nestled at the base of the Cascade Mountain Range, which also inspired the brand name. The views and outdoor amenities are unmatched, but the entrepreneurial and community support we have received from day one has been the driving factor in bringing our homegrown business sustainable success in Oregon and beyond. Our employees, customers and partners are what make Bend home and inspire continued growth.” - Affton Coffelt, Founder and CEO, Broken Top Brands

Broken Top Brands creates handmade, sustainable, eco-conscious candles and body products that have been featured in National media outlets such as BuzzFeed, Oprah Daily and HuffPost. Started in 2015 out of Founder Affton Coffelt’s kitchen in Bend as Broken Top Candle Co., the company has now blossomed to 19 employees and recently moved into an 18,000 SF manufacturing facility.
Broken Top Brands is currently selling an array of all natural, biodegadble and paraben-free lifestyle products in the USA, as well as Canada and parts of Europe. The brand’s market is primarily wholesale with an organically growing e-commerce presence. Customers can find their products in over 2,800 retail locations nationally and internationally, with Whole Foods being their largest account.
Broken Top Brands was attracted to starting a business in Central Oregon for its quality of life and supportive community. Due to it’s unique company culture and location, the business has had success retaining employees which has enabled its continued expansion. Although supply chain timelines and transportation costs have been challenges through the pandemic, Broken Top Brands has sustained steady growth and continues to partner with EDCO, 1% for the Planet, One Tree Planted, Opportunity Knocks, Bend Chamber, and Business Oregon to serve their loyal customer base.
- MILKEN INSTITUTE, 2022
Private sector employment grew by 47% in Central Oregon over the last 10 years, which is significantly faster than the statewide growth of around 20%. Employment in the private sector is projected to grow by 12% across the region between 2019 and 2029. -

Now in its fourth year, Youth CareerConnect (YCC) continues to connect employers and students with real work experience throughout Central Oregon. By supporting internships and experiential learning opportunities in the community, YCC has made it simpler for schools and employers to connect while fostering a work-ready labor force for years to come.

YCC Internship Coordinators host office hours at schools across the region to help students with professional goal setting, resume writing, interview skills, and internship placement for high school, college and alternative education students. Since its inception in 2017, YCC has built a rolodex
over 360 business partners and placed more than 493 students in meaningful internships. Personalization for both the business and the student is at the core of what YCC does, and why it continues to thrive. To get involved with Youth CareerConnect, visit: youthcareerconnect.org

“Central Oregon enjoys a truly collaborative environment. Everyone is not only supportive of each other, but excited to see one another grow. We share the same trails, rivers and slopes and ultimately share a similar vision to help the region succeed.”
- Scott Allan , Former CEO and GM, Hydro Flask
The combination of a collaborative culture, a supportive attitude among government and economic development partners, plus a location that attracts talent and investment all help Central Oregon compete nationally.

Redmond Municipal Airport (RDM; www.flyrdm.com ) provides commercial air service with an average of 27 daily outbound flights to Burbank, Denver, Los Angeles, Palm Springs, Phoenix, Salt Lake City, San Diego, San Francisco, and Seattle via five carriers (Alaska, American, Avelo, Delta, and United).

Burlington Northern-Santa Fe (BNSF), Union Pacific (UPRR) and the City of Prineville Railway (COPR) provide direct connections for shipping to any market in the United States, Canada and Mexico.

U.S. Highways 97 and 20 are two of the State’s major trucking routes, with access to major metro areas with connections to Interstate 5 (N-S) and Interstate 84 (E-W).
SanFranciscoLosAngeles Seattle Portland Denver Bend
The Central Oregon average commute time is 24 minutes each way, saving the average worker nearly one work week per year !
Source: Census.gov 2021

Most of our region has been newly built in the past two decades, making Central Oregon’s telecommunications infrastructure one of the Northwest’s most technologically advanced. Businesses and telecommuters benefit from reliable fast data speeds and upload times.

Central Oregon is well-recognized for its high level of education, with some of the best K-12 public schools in the nation. In 2021, the Bend-La Pine school district’s average SAT scores surpassed the national average by over 180 points. Additionally, our higher education opportunities abound. From Oregon State University-Cascades’ ongoing expansion, to Central Oregon Community College’s four campuses in the region, there are opportunities for all to obtain a quality education.

St. Charles Health System is the largest healthcare provider in the region, and is also the largest employer with over 4,500 employees across the tri-county area. The hospital received HealthGrade’s 2021 Pulmonary Care Excellence Award™ and offers a network of more than 100 clinics and specialty practices throughout the community.

According to the Oregon Employment Department, 76% of Oregon establishments have between one and nine covered payroll employees and the average private establishment employs around 11 people.
Still, a number of large employers operate successfully here, tapping into Central Oregon’s ever-expanding workforce, the overall low cost of doing business and business-friendly local governments. This year, the top 50 private companies collectively employ nearly 21,000 Central Oregonians, or roughly 21.9% of the region’s current total employment.
• More than 100 businesses in advanced manufacturing make their own products here in Central Oregon, as well as provide a critical role in the supply chain for other OEM in aviation/aerospace, brewing & distilling, specialty food processing, and automotive.
• Additive and subtractive machining of metals and plastics, advanced welding and metal fabrication, specialty metals casting, production printing and publishing, as well as specialized machinery and equipment continue to advance locally.
• The largest employers in this industry group include Precision Cast Parts (PCC) Schlosser, Keith Manufacturing and BasX Solutions.






• The production of light aircraft in Central Oregon spans back more than 30 years and over that time, 25 aircraft have moved through the process of conceptual design to flight.
• Composite (carbon fiber) fabrication and innovation aircraft are the region’s specialty offering a cluster of world-class talent and capabilities here.
• Some of the most successful flight training programs in the country are located in the region with both fixed-wing and helicopter flight schools that serve the global industry, including Leading Edge, Hillsboro Aero Academy and Central Oregon Community College.









• Producing everything from titanium implants to cutting edge drug research, our bioscience industry has been experiencing year-over-year double digit employment growth for nearly a decade.
• Quietly, Central Oregon’s bioscience industry has proven capable of attracting world class scientific and technical talent that has made companies here competitive on a global scale.
• Swiss-based pharmaceutical research and manufacturer Lonza is the largest bioscience company in the region, and among the largest in Oregon, with two campuses and additional operations scattered across the region.






• Central Oregon is home to breweries both large and small, with Deschutes Brewery’s production placing it in the top 10 largest craft breweries in the U.S.
• For Oregon, which has 312 craft breweries, nearly one-third of the largest 30 brewers by volume, are located in Central Oregon – testimony to the quality of product produced here.
• The region is also home to a dozen craft cideries and distilleries, two of which, Bendistillery and AVID Cider, are the second largest in the state in their respective sectors.






• After 100+ years and considerable systemic change across the industry, the building products sector is still Central Oregon’s largest traded-sector employer.
• Businesses in this sector compete and win on a global scale, innovating and automating as global leaders in their respective sub-industries, including wood doors and windows, mouldings, cabinetry, furniture, and musical instruments.
• The region’s largest manufacturer and second largest private employer, Brightwood Corporation, is based in Madras, with operations in Redmond, Culver and Prineville. The company has been growing in Central Oregon for over a half century.








• Central Oregon is home to a diverse group of businesses in a variety of subsectors, including rock climbing, water sports, hydration, hiking, backpacking, recreational vehicles, road and mountain biking, outerwear, and software.
• The region is home to the Oregon Outdoor Alliance (OOA) and Oregon’s Office of Outdoor Recreation, both of which are dedicated to connecting and cultivating the industry.
• Bend Outdoor Worx is the country’s first dedicated startup accelerator for the industry and offers investment, exposure and access to vetted resources for outdoor innovators.






GREAT CITIES IN THE U.S. FOR OUTDOOR ADVENTURES - WASHINGTON POST, 2022
• Professional services are incrasingly being exported out of the tri-county region including engineering, architecture, accounting, HR, recruitment, creative services, advertising, and publishing to name a few
• The creative, marketing and advertising sub-sectors of this industry are particularly strong in Central Oregon with firms being attracted to the region from as far away as Barcelona, Spain.









• Including software companies, electronics manufacturers, alternative energy and data centers, the region has over 130 tech companies employing nearly 3,000 people.
• Five dozen software companies call the region home, more often than not locating their headquarter operations here.
• Prineville is a growing data center hub and is home to Meta’s first and largest data center campus, a 4.5 million square foot complex. Central Oregon offers a unique advantage for data centers due to its available infrastructure, affordable industrial land, multiple telecom carriers, desert climate, and globally competitive tax incentives.






Located on the eastern slopes of the Cascade Range, where vast forests give way to the arid high desert, Central Oregon boasts year-round adventure and a rare mix of city amenities and world-famous outdoor recreation. The region offers the slower speed of a small town with access to toprated healthcare and infrastructure to support continued economic growth.
-MONEY, 2019 & LIVABILITY, 2020

#2 MOST FITNESS FRIENDLY PLACE IN THE U.S.
-SMARTASSET, 2022
#10 BEST SMALL CITIES FOR BUSINESS
-U.S. CHAMBER OF COMMERCE, 2022
M T.
BACHELOR AMONG BEST SKI AREAS IN THE U.S. -AFAR, 2020
#10 BEST PERFORMING SMALL CITIES & #1 FOUR YEARS IN A ROW
-MILKEN INSTITUTE, 2022
30+ Golf Courses 31 Breweries & Counting Flourishing Arts & Culture Scene Miles and Miles of Trails




#4 BEST MOUNTAIN TOWNS IN AMERICA
-THRILLIST, 2021
300 Days of Sunshine

Founded in 1981, EDCO is a non-profit corporation supported by private and public members and stakeholders. Our mission is to create a balanced and diversified economy with a strong base of middle-class jobs in Central Oregon.
To do this, we focus on helping companies do the following:
MOVE. We guide employers outside the region through the relocation process as a resource for regional data, incentives, talent, site selection, and more.
START. We mentor and advise scalable young companies from concept to exit on issues such as access to capital, critical expertise and business strategy.
GROW. We partner with local traded-sector companies to help them grow and expand.
• Upcoming networking events, luncheons, conferences, and more
• EDCO Info Hub: current comprehensive data for Central Oregon
• Stable of Experts: a network of seasoned professionals with a passion for start-ups and small businesses
• Success stories from regional businesses

