60974 Grand Targhee Drive, Bend - Homebook

Page 1

Deschutes County Title has provided this information as a courtesy and assumes no liability for the accuracy of the data and does not warranty the fitness of this product for any particular purpose. 60974 Grand Targhee Drive|Bend|Oregon|97702 Bend 397 SW Upper Terrace Dr Bend, Oregon 97702 Office: 541.389.2120 Fax: 541.389.2180 Redmond 845 SW Veterans Way Redmond, Oregon 97756 Office: 541.527.1274 Fax: 541.527.1281 La Pine 51515 Huntington Rd La Pine, Oregon 97739 Office: 541.876.6990 Fax: 541.876.2740 St Helens 240 South First Street St. Helens, Oregon 97051 Office: 503.397.2587 Fax: 503.366.1708 HOMEBOOK www.deschutestitle.com

*Customary for Seller to Pay

RealEstateAgentCommissions

Reconveyance/ReleaseFees

PrepaymentPenalties(IfApplicable)

Owner'sTitleInsurance

EscrowFee

TaxProrations

LienSearch(ifapplicable)

Mortgages&Encumbrances

AnyPropertyTaxDue

LoanOriginationFee/Discount

CreditFee

MortgageInsurance(ifapplicable)

ReserveSetUpFee(ifapllicable)

FireInsurance1year(homeownerspolicy)

Floodinsurance(ifapplicable)

FloodandTaxCertifications

PrepaidInterest

HomeOwnersAssociationFees(ifapplicable)

VAFundingFee

TaxProration

EscrowFee

RecordingFee LendersTitleInsurance

* Items listed are intended to represent only what may be customarily charged and may not reflect actual charges at closing. Consult with your real estate professional or title company representtaive for actual charges specific to your transaction.

Seller to pay full escrow fee (includes buyer escrow fee)

ConventionalFHA VA ● ● ● ● ● ● ● ● ● ● ● ● ● ● ● ● ● ● ● ● ● ● ● ● ● ● ● ● ● ● ● ● ● ● ● ● ● ConventionalFHA VA ● ● ● ● ● ● ● ● ● ● ● ● ● ● ● ● ● ● ● ● ● ● ● ● ● ● ● ● ● ● ● ● ● ● ● ● ● ● ● ● ● ● ● ● ●
GUIDE TO CLOSING COSTS
Buyer'sLenderFees(variesbylender)
AppraisalFee
TypeofFinancing TypeofFinancing
for Buyer to Pay Cash (no loan) Cash (no loan)
*Customary
Deschutes Title Market Report Bend, OR 97702 REPORT FOR 8/29/2023 Single-Family Homes Presented by Kevin White 541-389-2120 kwhite@titlemanagement.org www.deschutestitle.com

This week the median list price for Bend, OR 97702 is $895,000 with the market action index hovering around 40. This is less than last month's market action index of 42 Inventory has decreased to 179

Market Action Index

This answers “How’s the Market?” by comparing rate of sales versus inventory

Bend, OR 97702

Real-Time Market Profile

Slight Seller's Advantage

The market has been cooling over time and prices plateaued for a while. Despite the consistent decrease in MAI, we’re in the Seller’s zone Watch for changes in MAI. If the MAI resumes its climb, prices will likely follow suit. If the MAI drops consistently or falls into the Buyer’s zone, watch for downward pressure on prices.

Each segment below represents approximately 25% of the market ordered by price.

Single-Family Homes
Median List Price $895,000 Median Price of New Listings $974,999 Per Square Foot $408 Average Days on Market 74 Median Days on Market 49 Price Decreased 46% Price Increased 5% Relisted 3% Inventory 179 Median Rent $2,795 Market Action 40 Slight Seller's Advantage Deschutes Title Market Report deschutestitle.com
Buyer's Market Seller's Market 0 10 20 30 40 50 60 70 80 90 100 Tod a y LastMonth 40
Market Segments
Median Price Sq. Ft. Lot Size Beds Bath Age New Absorbed DOM $2,074,950 3,555 0 5 - 1 acre 4 3 5 17 2 5 73 $1,050,000 2,620 0.5 - 1 acre 4 2.5 25 7 1 49 $819,000 2,236 8,000 - 10,000 sqft 3 2 5 22 3 3 49 $639,900 1,881 4,500 - 6,500 sqft 3 2.5 11 5 5 49 2 of 6 Tue Aug 29 2023 Powered by Altos Research, Inc. | www.altos.re | Copyright © 2023 Altos Research, Inc.

Median List Price

Prices in this zip code seem to have settled around a plateau. Look for a persistent down-shift in the Market Action Index before we see prices deviate from these levels.

Segments

In the quartile market segments, we see prices in this zip code have generally settled at a plateau, although Quartile 1 has been trending a bit downward in recent weeks. We'll need to see a persistent shift in the Market Action Index before we see prices across the board move from these levels.

Single-Family Homes
Deschutes Title Market Report deschutestitle.com
Bend, OR 97702
7-Day Average 90-Day
Sep 2018 Apr 2019 Oct 2019 Apr 2020 Oct 2020 Apr 2021 Oct 2021 Apr 2022 Oct 2022 Apr 2023 $500K $600K $700K $800K $900K $1.0M
Average
Top 90-Day Upper 90-Day Lower 90-Day Bottom 90-Day Sep 2018 Apr 2019 Oct 2019 Apr 2020 Oct 2020 Apr 2021 Oct 2021 Apr 2022 Oct 2022 Apr 2023 $0 $500K $1.0M $1.5M $2.0M $2.5M $3.0M 3 of 6 Tue Aug 29 2023 Powered by Altos Research, Inc. | www.altos.re | Copyright © 2023 Altos Research, Inc.

Price Per Square Foot

The market plateau is seen across the price and value. The price per square foot and median list price have both been reasonably stagnant. Watch the Market Action Index for persistent changes as a leading indicator before the market moves from these levels.

Average

Inventory has been climbing lately. Note that rising inventory alone does not signal a weakening market. Look to the Market Action Index and Days on Market trends to gauge whether buyer interest is keeping up with available supply.

Average

Average

Single-Family Homes Bend, OR 97702 Deschutes Title Market Report deschutestitle.com
90-Day
Sep 2018 Apr 2019 Oct 2019 Apr 2020 Oct 2020 Apr 2021 Oct 2021 Apr 2022 Oct 2022 Apr 2023 $200 $250 $300 $350 $400 $450 $500 Inventory
7-Day Average
7-Day
90-Day
Sep 2018 Apr 2019 Oct 2019 Apr 2020 Oct 2020 Apr 2021 Oct 2021 Apr 2022 Oct 2022 Apr 2023 0 100 200 300 400 4 of 6 Tue Aug 29 2023 Powered by Altos Research, Inc. | www.altos.re | Copyright © 2023 Altos Research, Inc.

Market Action Index

The market has been cooling over time and prices plateaued for a while. Despite the consistent decrease in MAI, we’re in the Seller’s zone. Watch for changes in MAI. If the MAI resumes its climb, prices will likely follow suit. If the MAI drops consistently or falls into the Buyer’s zone, watch for downward pressure on prices.

Market Action Segments

Not surprisingly, all segments in this zip code are showing high levels of demand. Watch the quartiles for changes before the whole market changes. Often one end of the market (e.g. the high-end) will weaken before the rest of the market and signal a slowdown for the whole group.

Single-Family Homes Bend, OR 97702 Deschutes Title Market Report deschutestitle.com
7-Day Average 90-Day Average Sep 2018 Apr 2019 Oct 2019 Apr 2020 Oct 2020 Apr 2021 Oct 2021 Apr 2022 Oct 2022 Apr 2023 0 100 25 50 75 125
Top 90-Day Upper 90-Day Lower 90-Day Bottom 90-Day Sep 2018 Apr 2019 Oct 2019 Apr 2020 Oct 2020 Apr 2021 Oct 2021 Apr 2022 Oct 2022 Apr 2023 20 40 60 80 100 120 5 of 6 Tue Aug 29 2023 Powered by Altos Research, Inc. | www.altos.re | Copyright © 2023 Altos Research, Inc.

Median Days on Market (DOM)

The properties have been on the market for an average of 65 days. Half of the listings have come newly on the market in the past 32 or so days. Watch the 90-day DOM trend for signals of a changing market.

Segments

It is not uncommon for the higher priced homes in an area to take longer to sell than those in the lower quartiles.

Single-Family Homes
Deschutes Title Market Report deschutestitle.com
Bend, OR 97702
7-Day Average 90-Day Average Sep 2018 Apr 2019 Oct 2019 Apr 2020 Oct 2020 Apr 2021 Oct 2021 Apr 2022 Oct 2022 Apr 2023 0 25 50 75 100 125 150
Top 90-Day Upper 90-Day Lower 90-Day Bottom 90-Day Sep 2018 Apr 2019 Oct 2019 Apr 2020 Oct 2020 Apr 2021 Oct 2021 Apr 2022 Oct 2022 Apr 2023 0 50 100 150 200 6 of 6 Tue Aug 29 2023 Powered by Altos Research, Inc. | www.altos.re | Copyright © 2023 Altos Research, Inc.

AreaProfiled:SouthDeerfieldPark

ReportDate: 08/29/2023

SalesDates: 08/25/2009-07/06/2023

AverageSalePricebyYear:01/01/2015-08/29/2023

LengthofResidence

*45sale(s)areincludedinthegraph **13sale(s)withnosalepriceareexcludedfromthegraph

SalesStatisticsbyYear:01/01/2015-08/29/2023

**0parcel(s)withnosaledateareexcluded

AgeofHomes

*44sale(s)areincludedinthetable

**14sale(s)withnosalepriceorbuildingsqftareexcludedfromthetable

AssessedValues

InformationisdeemedreliablebutnotguaranteedPoweredbygeoAdvantage

NumberofParcels:63 ParcelswithViews:0
WaterfrontParcels:0
AverageLengthofResidence 4yr(s) OwnershipLength # %ofHomes 0-2Years 12 19% 2-4Years 25 39% 4-6Years 10 15% 6-10Years 12 19% 10+Years 4 6%
*63parcel(s)areincludedinthecalculation
fromthecalculation
Year # Sales Price/SqFtPrice/FinSqFt % Turnover AvgSale Price MinSale Price MaxSale Price 2015 3 $169 $169 5 $274,256 $255,000 $305,767 2016 4 $129 $129 6 $214,435 $1 $298,700 2017 2 $187 $187 3 $296,695 $295,000 $298,390 2018 2 $208 $208 3 $339,995 $309,990 $370,000 2019 7 $224 $224 11 $357,843 $325,000 $404,900 2020 10 $228 $228 16 $356,040 $191,443 $425,000 2021 11 $321 $321 17 $515,364 $420,000 $585,000 2022 5 $366 $416 8 $403,498 $1 $600,000
AverageAgeofHome 8yr(s) YearBuilt # %ofHomes <5Years 14 22% 5-10Years 44 70% 10+Years 15 24%
OwnerMail # %ofHomes OwnerOccupied 44 70% InStateNon-OwnerOcc 9 14% OutofState 10 16%
OwnerOccupancy
AverageValues $206,482 YearAssessment # %ofHomes $1k-$250k 62 98% $251k-$500k 1 2% $501k-$750k 0 0% $751k-$15M 0 0% $15M+ 0 0%

Property Profile Taxes Deed

PropertyProfileSummary

SUBJECTPROPERTY

258481

DeschutesCounty

ADDRESS

60974GrandTargheeDr Bend,OR97702

OWNER Lynch,JamesE Lynch,LindaF

DATE

08/29/2023

PREPAREDBY SarahLewis

sarahl@deschutestitle.com

DESCHUTESCOUNTYPROPERTYPROFILEINFORMATION

Parcel#:258481

TaxLot:181217CA07100

Owner:Lynch,JamesE

CoOwner:Lynch,LindaF

Site:60974GrandTargheeDr

BendOR97702

Mail:60974GrandTargheeDr

BendOR97702

LandUse:101-Residential-Improved(typicalofclass)

StdLandUse:RSFR-SingleFamilyResidence

Legal:SOUTHDEERFIELDPARKLot:14

Twn/Rng/Sec:T:18SR:12ES:17Q:SWQQ:NE

ASSESSMENT&TAXINFORMATION

MarketTotal:$563,010.00

MarketLand:$168,030.00

MarketImpr:$394,980.00

AssessmentYear:2022

AssessedTotal:$227,830.00

Exemption:

Taxes:$3,608.32

LevyCode:1-001

LevyRate:158378

SALE&LOANINFORMATION

SaleDate:06/07/2013

SaleAmount:$241,68100

Document#:23710

DeedType:Deed

LoanAmount:$85,00000

Lender:STERLINGBK

LoanType:Conventional

InterestType:

TitleCo:WESTERNTITLE&ESCROWCO

PROPERTYCHARACTERISTICS

YearBuilt:2013

EffYearBuilt:

Bedrooms:3

Bathrooms:2

#ofStories:1

TotalSqFt:1,521SqFt

Floor1SqFt:1,521SqFt

Floor2SqFt:

BasementSqFt:

Lotsize:011Acres(4,792SqFt)

GarageSqFt:420SqFt

GarageType:

AC:

Pool:

HeatSource:

Fireplace:1

BldgCondition:

Neighborhood:001

Lot:14

Block:

Plat/Subdiv:SouthDeerfieldPark

Zoning:RS-ResidentialStandardDensity

SchoolDist:1-Bend-LaPineAdministrative Census:3031-002000

Recreation:

SentryDynamics,Inc anditscustomersmakenorepresentations,warrantiesorconditions,expressorimplied,astotheaccuracyorcompletenessofinformationcontainedinthisreport

Deschutes County Property Information

Report Date: 8/29/2023 9:03:48 AM

Disclaimer

The information and maps presented in this report are provided for your convenience. Every reasonable effort has been made to assure the accuracy of the data and associated maps. Deschutes County makes no warranty, representation or guarantee as to the content, sequence, accuracy, timeliness or completeness of any of the data provided herein. Deschutes County explicitly disclaims any representations and warranties, including, without limitation, the implied warranties of merchantability and fitness for a particular purpose. Deschutes County shall assume no liability for any errors, omissions, or inaccuracies in the information provided regardless of how caused. Deschutes County assumes no liability for any decisions made or actions taken or not taken by the user of this information or data furnished hereunder.

Account Summary

Account Information

Mailing Name:

Map and Taxlot:

Account:

Tax Status:

Situs Address:

Property Taxes Assessment

LYNCH, JAMES E & LINDA F

181217CA07100 258481

Assessable

60974 GRAND TARGHEE DR, BEND, OR 97702

Ownership

Mailing Address:

LYNCH, JAMES E & LINDA F

60974 GRAND TARGHEE DR

BEND, OR 97702

Valuation

Subdivision:

Block: 14 Lot:

SOUTH DEERFIELD PARK

Assessor Acres:

Tax Code Area: Current Tax Year: 1001 $3,608.32 0.11

Property Class: 101 -- RESIDENTIAL

Warnings, Notations, and Special Assessments

Land Structures

Total $563,010

Current Assessed Values:

Maximum Assessed Assessed Value

Real Market Values as of Jan. 1, 2022 $227,830 $227,830

Veterans Exemption

Review of digital records maintained by the Deschutes County Assessor’s Office, Tax Office, Finance Office, and the Community Development Department indicates that there are no special tax, assessment or property development related notations associated with this account. However, independent verification of the presence of other Deschutes County tax, assessment, development, and additional property related considerations is recommended. Confirmation is commonly provided by title companies, real estate agents, developers, engineering and surveying firms, and other parties who are involved in property transactions or property development. In addition, County departments may be contacted directly to discuss the information.

$168,030 $394,980
2018 - 2019 2019 - 2020 2020 - 2021 2021 - 2022 2022 - 2023 Real Market Value - Land $92,590 $100,340 $108,790 $132,020 $168,030 Real Market Value - Structures $225,190 $245,460 $267,550 $296,980 $394,980 Total Real Market Value $317,780 $345,800 $376,340 $429,000 $563,010 Maximum Assessed Value $202,440 $208,510 $214,760 $221,200 $227,830 Total Assessed Value $202,440 $208,510 $214,760 $221,200 $227,830 Veterans Exemption $0 $0 $0 $0 $0
History All values are as of January 1 of each year. Tax year is July 1st through June 30th of each year. Deschutes County Property Information Report, page 1
Valuation

Tax Payment History

Sales History

Structures

Year Date Due Transaction Type Transaction Date As Of Date Amount Received Tax Due Discount Amount Interest Charged Refund Interest 2022 11-15-2022 PAYMENT 05-02-2023 05-02-2023 $1,202.77 ($1,202.77) $0.00 $0.00 $0.00 2022 11-15-2022 PAYMENT 02-10-2023 02-10-2023 $1,202.77 ($1,202.77) $0.00 $0.00 $0.00 2022 11-15-2022 PAYMENT 11-03-2022 11-03-2022 $1,202.78 ($1,202.78) $0.00 $0.00 $0.00 2022 11-15-2022 IMPOSED 10-12-2022 11-15-2022 $0.00 $3,608.32 $0.00 $0.00 $0.00 Total: $0.00 2021 11-15-2021 PAYMENT 05-10-2022 05-10-2022 $1,168.48 ($1,168.48) $0.00 $0.00 $0.00 2021 11-15-2021 PAYMENT 02-04-2022 02-04-2022 $1,168.48 ($1,168.48) $0.00 $0.00 $0.00 2021 11-15-2021 PAYMENT 11-01-2021 11-01-2021 $1,168.48 ($1,168.48) $0.00 $0.00 $0.00 2021 11-15-2021 IMPOSED 10-11-2021 11-15-2021 $0.00 $3,505.44 $0.00 $0.00 $0.00 Total: $0.00 2020 11-15-2020 PAYMENT 05-11-2021 05-11-2021 $1,108.55 ($1,108.55) $0.00 $0.00 $0.00 2020 11-15-2020 PAYMENT 02-16-2021 02-15-2021 $1,108.55 ($1,108.55) $0.00 $0.00 $0.00 2020 11-15-2020 PAYMENT 11-05-2020 11-05-2020 $1,108.56 ($1,108.56) $0.00 $0.00 $0.00 2020 11-15-2020 IMPOSED 10-09-2020 11-15-2020 $0.00 $3,325.66 $0.00 $0.00 $0.00 Total: $0.00
Sale Date Seller Buyer Sale Amount Sale Type Recording Instrument 06/05/2013 FRANKLIN BROTHERS LLC LYNCH, JAMES E & LINDA F $241,681 30-UNCONFIRMED SALE 2013-23710 05/31/2013 LANDS BEND LLC FRANKLIN BROTHERS LLC $241,681 06-GRANTEE IS RELATED/FRIENDS/BUSINES S ASSOCIATES 2013-23709 02/25/2013 LONG TERM BEND INVESTORS LLC LANDS BEND LLC $420,000 08-GRANTOR/GRANTEE ARE THE SAME 2013-8105 02/26/2010 SHELDON DEVELOPMENT INC LONG TERM BEND INVESTORS LLC $1,200,000 35-MULTIPLE ACCOUNTS INVOLVED IN SALE 2010-10616
Stat Class/Description Improvement Description Code Area Year Built Total Sq Ft SF per plans, Interior best estimate, LS includes Deschutes County Property Information Report, page 2 (For Report Disclaimer see page 1)

Related accounts apply to a property that may be on one map and tax lot but due to billing have more than one account. This occurs when a property is in multiple tax code areas. In other cases there may be business personal property or a manufactured home on this property that is not in the same ownership as the land.

141 - RESIDENCE: One story fencing 1001 2013 1,521 Floor Description Comp % Sq Ft First Floor 100 1,521 Living Dining Kitchen Nook Great Family Bed Full Bath Half Bath Bonus Utility Den Other 1 1 1 0 0 0 3 2 0 0 1 0 0 Rooms Floor Description Comp % Sq Ft Garage-Attached-Finished 100 420 AUTOMATIC DOOR OPENER 1 CARPET 1 CEILING HIGH BRICK 1 COMP HVY - ROOF COVER 420 D.I. RANGE 1 DRYWALL 1 FORCED AIR HEAT & COOLING 1,521 FOUNDATION - CONCRETE 1,521 FULL BATH 1 GAS FIREPLACE 1 HARDWOOD FLOOR 1 HF/DW/GD/MW 1 KITCHEN SINK 1 LAVATORY 2 RECESSED LIGHTING 1 ROOF - GABLE 1 ROOF CVR - COMP HEAVY 1,521 SHOWER W/DOOR, FIBERGLASS 1 SIDING - BRICK TRIM 1 SIDING - LAP 1 TOILET 1 VAULTED CEILING 1 VINYL FLOOR 1 WATER HEATER 1 WINDOWS - DOUBLE/THERMAL PANE 1 WINDOWS - VINYL 1 Improvement Inventory Accessory Description Sq Ft Quantity CONCRETE-PAVING 814 PAVERS 80 ROOF EXT. AVERAGE 275 Land Characteristics Land Description Acres Land Classification Urban Lot 0.11 Ownership Name Type Name Ownership Type Ownership Percentage OWNER LYNCH, JAMESE OWNER 100.00% OWNER LYNCH, LINDAF OWNER 100.00% No Related Accounts found.
Related Accounts Category Name Phone Address COUNTY SERVICES DESCHUTES COUNTY (541) 388-6570 1300 NW WALL ST, BEND, OR 97703 SCHOOL DISTRICT BEND - LA PINE SCHOOL DISTRICT (541) 355-1000 520 NW WALL ST, BEND, OR 97703 ELEMENTARY SCHOOL ATTENDANCE AREA R. E. JEWELL ELEMENTARY SCHOOL (541) 355-2100 20550 MURPHY RD, BEND, OR 97702 MIDDLE SCHOOL ATTENDANCE AREA HIGH DESERT MIDDLE SCHOOL (541) 355-7200 61000 DIAMONDBACK LN, BEND, OR 97702 Service Providers Please contact districts to confirm. Deschutes County Property Information Report, page 3 (For Report Disclaimer see page 1)
HIGH SCHOOL ATTENDANCE AREA CALDERA HIGH SCHOOL (541) 355-5000 60925 SE 15th Street, BEND, OR 97702 EDUCATION SERVICE TAX DISTRICT HIGH DESERT EDUCATION SERVICE DISTRICT (541) 693-5600 145 SE SALMON AVE, REDMOND, OR 97756 COLLEGE TAX DISTRICT CENTRAL OREGON COMMUNITY COLLEGE (541) 383-7700 2600 NW COLLEGE WAY, BEND, OR 97703 PARK & RECREATION DISTRICT BEND PARK & RECREATION DISTRICT (541) 389-7275 799 SW COLUMBIA ST, BEND, OR 97702 LIBRARY DISTRICT DESCHUTES PUBLIC LIBRARY (541) 617-7050 601 NW WALL ST, BEND, OR 97703 WATER SERVICE PROVIDER ROATS WATER SYSTEM (541) 382-3029 61147 HAMILTON LN, BEND, OR 97702 IRRIGATION DISTRICT ARNOLD IRRIGATION DISTRICT (541) 382-7664 19604 BUCK CANYON RD, BEND, OR 97702 GARBAGE & RECYCLING SERVICE CASCADE DISPOSAL (541) 382-6660 1300 SE WILSON AVE, BEND, OR 97702 Jurisdiction City Zoning Description Bend RS RESIDENTIAL STANDARD DENSITYBEND UGB City of Bend Permits Permit ID Permit Type Applicant Application Date Status 7-5309 Building 10/19/2007 WITHDRAWN 7-5097 Electrical 10/04/2007 ALL FINALS RECEIVED Development Summary Planning Jursidiction: Urban Reserve Area: Urban Growth Boundary: Bend No Bend 7-5309 Permit Number: REISSUE NEWSFD;GARAGE Permit Name: N/A Contractor: 10/19/2007 Application Date: Issue Date: 10/25/2007 Final Date: WITHDRAWN Status: Building Permit Details N/A Building Class: Class of Work: N/A Building Use: N/A Square Feet: N/A Bedrooms: N/A Stories: N/A On Sewer: $148,470 Permit Valuation: Inspections No inspection records found. 7-5097 Permit Number: TEMP POWER Permit Name: N/A Contractor: 10/04/2007 Application Date: Issue Date: 10/09/2007 Final Date: ALL FINALS RECEIVED Status: N/A Building Class: Class of Work: N/A Building Use: N/A Linked Permit: Electrical Permit Details Service Description: N/A N/A N/A N/A N/A Inspections No inspection records found. Permit Detail Assessor's Office Supplemental Information Deschutes County Property Information Report, page 4 (For Report Disclaimer see page 1)

Legal Description:

Property Class: Subdivision: SOUTH DEERFIELD PARK Lot: 14 Block:

Study Area: Maintenance Area:

Neighborhood:

001 B4 5 101 -- RESIDENTIAL
Deschutes County Property Information Report, page 5 (For Report Disclaimer see page 1)

STATEMENT OF TAX ACCOUNT

2022 ADVALOREM $0.00 $0.00 $0.00 $0.00 $3,608.32 Nov 15, 2022 2021 ADVALOREM $0.00 $0.00 $0.00 $0.00 $3,505.44 Nov 15, 2021 2020 ADVALOREM $0.00 $0.00 $0.00 $0.00 $3,325.66 Nov 15, 2020 2019 ADVALOREM $0.00 $0.00 $0.00 $0.00 $3,233.13 Nov 15, 2019 2018 ADVALOREM $0.00 $0.00 $0.00 $0.00 $3,141.83 Nov 15, 2018 2017 ADVALOREM $0.00 $0.00 $0.00 $0.00 $3,116.03 Nov 15, 2017 2016 ADVALOREM $0.00 $0.00 $0.00 $0.00 $2,974.68 Nov 15, 2016 2015 ADVALOREM $0.00 $0.00 $0.00 $0.00 $2,894.18 Nov 15, 2015 2014 ADVALOREM $0.00 $0.00 $0.00 $0.00 $2,810.99 Nov 15, 2014 2013 ADVALOREM $0.00 $0.00 $0.00 $0.00 $493.20 Nov 15, 2013 2012 ADVALOREM $0.00 $0.00 $0.00 $0.00 $431.15 Nov 15, 2012 2011 ADVALOREM $0.00 $0.00 $0.00 $0.00 $434.23 Nov 15, 2011 2010 ADVALOREM $0.00 $0.00 $0.00 $0.00 $622.06 Nov 15, 2010 2009 ADVALOREM $0.00 $0.00 $0.00 $0.00 $757.85 Nov 15, 2009 2008 ADVALOREM $0.00 $0.00 $0.00 $0.00 $734.82 Nov 15, 2008
DESCHUTES COUNTY TAX COLLECTOR DESCHUTES SERVICES BUILDING BEND OR 97703 (541) 388-6540 LYNCH, JAMES E & LINDA F 60974 GRAND TARGHEE DR BEND OR 97702 29-Aug-2023 258481 Tax Account # Account Status Roll Type Situs Address A Real 60974 GRAND TARGHEE DR BEND 97702 Tax Summary Tax Year Tax Type Total Due Current Due Interest Due Discount Available Original Due Due Date 1001 Aug 29, 2023 Lender Name Loan Number Property ID Interest To $0.00 $0.00 $0.00 $0.00 Total Deschutes County Property Information Report, page 6 (For Report Disclaimer see page 1)

REAL PROPERTY TAX STATEMENT

JULY 1, 2022 TO JUNE 30, 2023

DESCHUTES COUNTY, OREGON - 1300 NW WALL ST STE 203, BEND, OR 97703

TAX BY DISTRICT

TAX ACCOUNT: 258481

LYNCH, JAMES E & LINDA F 60974 GRAND TARGHEE DR BEND OR 97702

PROPERTY DESCRIPTION

CODE: 1001

LEGAL:

60974 GRAND TARGHEE DR BEND

SITUS ADDRESS: MAP: 101 CLASS: 181217-CA-07100

SOUTH DEERFIELD PARK 14

VALUES: REAL MARKET (RMV) LAND

Full Payment with 3% Discount

Discount is lost after due date and interest may apply PAYMENT OPTIONS:

* Online

* By Mail to Deschutes County Tax, PO Box 7559 Bend OR 97708-7559

* Drop Box located at 1300 NW Wall Street, Bend or 411 SW 9th Street, Redmond

* In Person 1300 NW Wall Street, Ste 203, Bend (2nd Floor) For Property Information: dial.deschutes.org

Please include this coupon with payment. Please do not staple, paper clip or tape your payment.

Payment Due November 15, 2022

Please select payment option

Full Payment (3% Discount)

Two-Thirds Payment (2% Discount)

Next Payment Due

One-Third Payment (No Discount)

Next Payment Due

AMOUNT ENCLOSED $

Please make checks payable to Deschutes County Tax Collector

TAX ACCOUNT: 258481

LYNCH, JAMES E & LINDA F 60974 GRAND TARGHEE DR BEND OR 97702 Deschutes County

Change my Mailing Address

(Mailing address change form on reverse)

TOTAL
NET TAXABLE: TOTAL PROPERTY TAX: LAST YEAR THIS YEAR 132,020 296,980 429,000 168,030 394,980 563,010 221,200 0 221,200 3,505.44 227,830 0 227,830 3,608.32 TAX QUESTIONS ASSESSMENT QUESTIONS (541) 388-6540 (541) 388-6508 $3,500.07
05/15/23 02/15/23 $1,202.78 $2,357.44 $3,500.07
STRUCTURES TOTAL RMV
ASSESSED VALUE VETERAN'S EXEMPTION
No Additional Payment Due
227,830 221,200 MAXIMUM ASSESSED VALUE
Tax Collector PO Box 7559 Bend OR 97708-7559 09100002584810000120278000023574400003500078
SCHOOL DISTRICT #1 1,067.29 C O C C 139.02 HIGH DESERT ESD 21.62 EDUCATION TOTAL: 1,227.93 DESCHUTES COUNTY 272.96 COUNTY LIBRARY 123.23 COUNTYWIDE LAW ENFORCEMENT 235.26 COUNTY EXTENSION/4H 5.08 9-1-1 81.08 CITY OF BEND 628.08 CITY OF BEND LOCAL OPTION 45.57 BEND JUNIPER RIDGE URBAN RENEWAL 25.84 MURPHY CROSSING URBAN RENEWAL 10.89 BEND CORE URBAN RENEWAL 12.23 BEND METRO PARK & RECREATION 327.32 GENERAL GOVT TOTAL: 1,767.54 COUNTY LIBRARY BOND 76.87 CITY OF BEND ROAD BOND 2011 29.44 CITY OF BEND ROAD BOND 2021 39.03 BEND METRO PARK AND REC BOND 29.71 SCHOOL #1 BOND 2007 159.14 SCHOOL #1 BOND 2013 46.32 SCHOOL #1 BOND 2017 214.87 C O C C BOND 17.47 BONDS - OTHER TOTAL: 612.85 Deschutes County Property Information Report, page 7 (For Report Disclaimer see page 1)
www.deschutes.org/tax
Deschutes County Property Information Report, page 8 (For Report Disclaimer see page 1)
De sc h u te s C o u n ty GIS De sc hu t es Cou nt y P rop er t y I nf orm at i on - Di al
Map and Ta x l ot: 181 21 7C A 07100 Deschutes County Property Information Report, page 9 (For Report Disclaimer see page 1)
Roa d Map

AerialMap

ParcelID:258481

TaxAccount#:181217CA07100

60974GrandTargheeDr, BendOR97702

Thismap/platisbeingfurnishedasanaidinlocatingtheherein describedlandinrelationtoadjoiningstreets,naturalboundariesand otherland,andisnotasurveyofthelanddepictedExcepttotheextent apolicyoftitleinsuranceisexpresslymodifiedbyendorsement,ifany, thecompanydoesnotinsuredimensions,distances,locationof easements,acreageorothermattersshownthereon

AssessorMap

ParcelID:258481

TaxAccount#:181217CA07100

60974GrandTargheeDr, BendOR97702

Thismap/platisbeingfurnishedasanaidinlocatingtheherein describedlandinrelationtoadjoiningstreets,naturalboundariesand otherland,andisnotasurveyofthelanddepictedExcepttotheextent apolicyoftitleinsuranceisexpresslymodifiedbyendorsement,ifany, thecompanydoesnotinsuredimensions,distances,locationof easements,acreageorothermattersshownthereon

Covenants, Conditions and Restrictions

Clink the Hyperlink on the next page to view Electronically

Hard CopiesAvailable upon Request or Click on hyperlink below to view CC&R’s https://issuu.com/infodeschutestitle/docs/south_deerfield_park_ccr_s?fr=sODdhNTYyNzY1NDE
CC&R

Property Maps

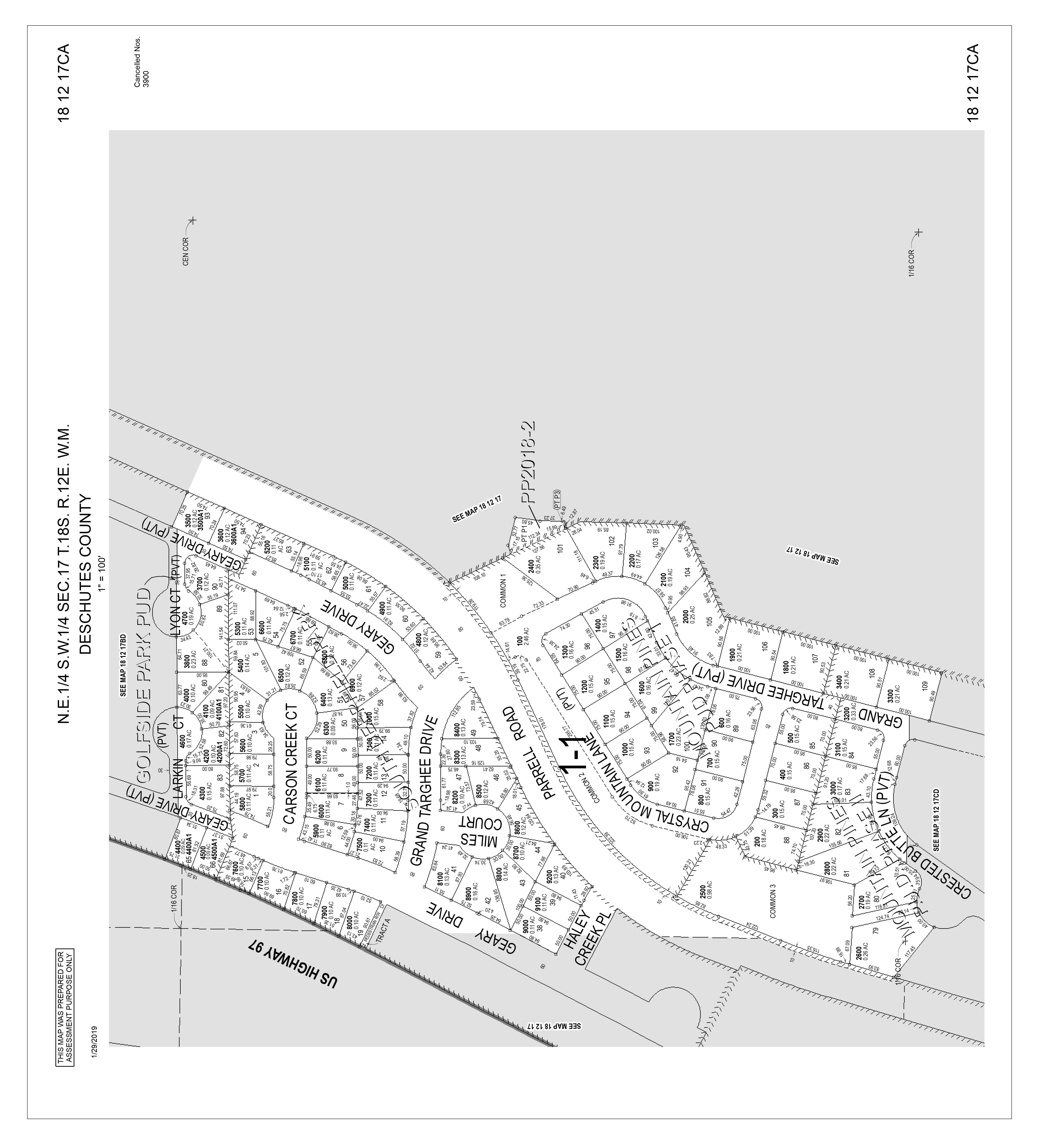
Crystal MountainLn M i le s C t Geary Dr Carson Creek Ct GearyDr ParrellRd Grand Targhee Dr Aeri al Map 60 97 4 GRAND TARGHEE DR BEND LA PIN E SISTERS REDMOND SUNR IVER 20 97 126 20 20 97 Map Data is deemed reliable but not guaranteed Deschutes County Tit e accepts no respons bility for accuracy 0 60 120 30 Feet 181217-CA-07100
Bend UGB Urban Grow th Boundary Map 60 97 4 GRAND TARGHEE DR BEND LA PIN E SISTERS REDMOND SUNR IVER 20 97 126 20 20 97 Map Data is deemed reliable but not guaranteed Deschutes County Tit e accepts no respons bility for accuracy 0 2,250 4,500 1,125 Feet 181217-CA-07100
Central O rego n Irrigation District
Irrigati on D istri ct Map 60 97 4 GRAND TARGHEE DR BEND LA PIN E SISTERS REDMOND SUNR IVER 20 97 126 20 20 97 Map Data is deemed reliable but not guaranteed Deschutes County Tit e accepts no respons bility for accuracy 0 2,400 4,800 1,200 Feet 181217-CA-07100
Arnold Irrigation District St Charles Medical Center - Bend Bend RFPD Station #303 Bend RFPD Station #304 Bend RFPD Station #301
Emergenc y Servic es M ap 60 97 4 GRAND TARGHEE DR BEND LA PIN E SISTERS REDMOND SUNR IVER 20 97 126 20 20 97 Map Data is deemed reliable but not guaranteed Deschutes County Tit e accepts no respons bility for accuracy 0 6,000 12,000 3,000 Feet 181217-CA-07100
Bend Police Department Bend RFPD Station #306
Rai lroad Map 60 97 4 GRAND TARGHEE DR BEND LA PIN E SISTERS REDMOND SUNR IVER 20 97 126 20 20 97 Map Data is deemed reliable but not guaranteed Deschutes County Tit e accepts no respons bility for accuracy 0 2,250 4,500 1,125 Feet 181217-CA-07100
De s c h u t e s R i v er A1 deeR Market A-1 NorthLateral Slaughter Golf Course Na N a Co1:A1 N a Roac h Arthur Main Canal Parre l l Na Werner GoatFarm Blakley Central Oregon Canal Na North Lateral Main Canal Water Course M ap 60 97 4 GRAND TARGHEE DR BEND LA PIN E SISTERS REDMOND SUNR IVER 20 97 126 20 20 97 Map Data is deemed reliable but not guaranteed Deschutes County Tit e accepts no respons bility for accuracy 0 2,400 4,800 1,200 Feet 181217-CA-07100
Skyline Sports Complex Columbia Park Lewis & Clark Park Hillside Park II Quail Park Canal ROW Park Awbrey Village Park River Canyon Natural Area River Rim Park Site Foxborough Park Sun Meadow Park Pine Ridge Park Site Alpine Park Site Haul Road Trail High Desert Park Site Cinder Cone Natural Area Wildflower Park Ridgewater Natural Area Hansen Park Pinewood Natural Area Compass Park Stover Park Sawyer Park Vince Genna Stadium Kiwanis Park Hixon Square Park Services Center Shevlin Conservation Easement Mountain View Park Jaycee Park Gardenside Park Three Pines Park Eagle Park Archie Briggs Natural Area Brandis Square Park Shevlin Park Stone Creek Park Larkspur Park The Pavilion Sunset View Park Rim Rock Natural Area Discovery Park Magill's Conservation Easement Haul Road Triail Haul Road Natural Area Old B end Gym Litchfield Park Site Larkspur Trail Alpenglow Community Park Parrell Road Park Site Cedarwood Trailhead Pilot Butte Neighborhood Park Parks M ap 60 97 4 GRAND TARGHEE DR BEND LA PIN E SISTERS REDMOND SUNR IVER 20 97 126 20 20 97 Map Data is deemed reliable but not guaranteed Deschutes County Tit e accepts no respons bility for accuracy 0 6,000 12,000 3,000 Feet 181217-CA-07100
Crook ed River Ran ch Golf Co urse Glaze M eado w Golf Co urse Missin g Lin k Family Golf Cen ter Eag le Crest Resort Cours e Aspen La kes Golf Co urse Eag le Crest Ridg e Cours e Jack Nicklaus Sign ature Cou rse At Pron gho rn River's Edg e Golf Co urse Awbr ey Glen G olf Cours e Bend Go lf & Coun try Club Lost Tr acks Golf Clu b Widg i Creek Golf Club Woo dland s Golf Co urse At Sunr iver Mead ows Golf Co urse At Sunr iver Crossw ater Golf Co urse Quail Run Golf Co urse Pro ng hor n Golf Club Tethero w Golf Clu b Golf Course Map 60 97 4 GRAND TARGHEE DR BEND LA PIN E SISTERS REDMOND SUNR IVER 20 97 126 20 20 97 Map Data is deemed reliable but not guaranteed Deschutes County Tit e accepts no respons bility for accuracy 0 44,000 88,000 22,000 Feet 181217-CA-07100
M i le s C t Lyon Ct Lar kin Ct GearyDr HaleyCreekPl Carson Creek Ct SHwy97 SHwy97 Veryl Ct CrestedButteLn Hawes Ln CrystalMountainLn Grand Targ hee Dr S b P a r k w ay Nb Parkway ParrellRd Geary Dr Mo untain Pin es P.u .d . Phas e Ii Golfsid e Man ufactur ed Home Par k Phas es I And Ii So uth Villa ge Inc e Su bdivisio n Bend Go lf Club Add ition Golfsid e Par k P.u .d . Mo untain Pin es P.u .d . Phas e 1 Fir st Pla ce So uth Deerfield Par k Subdi vis ions Map 60 97 4 GRAND TARGHEE DR BEND LA PIN E SISTERS REDMOND SUNR IVER 20 97 126 20 20 97 Map Data is deemed reliable but not guaranteed Deschutes County Tit e accepts no respons bility for accuracy 0 250 500 125 Feet 181217-CA-07100

ZoningMap

ParcelID:258481

TaxAccount#:181217CA07100

60974GrandTargheeDr, BendOR97702

Thismap/platisbeingfurnishedasanaidinlocatingtheherein describedlandinrelationtoadjoiningstreets,naturalboundariesand otherland,andisnotasurveyofthelanddepictedExcepttotheextent apolicyoftitleinsuranceisexpresslymodifiedbyendorsement,ifany, thecompanydoesnotinsuredimensions,distances,locationof easements,acreageorothermattersshownthereon

Community Services

------
----------

Schools Report

SubjectParcel SiteAddress 60974GrandTargheeDr BendOR97702 Parcel 258481 SchoolDistrict 1Bend-LaPineAdministrative AssignedPrimarySchool REJewellElementarySchool AssignedMiddleSchool HighDesertMiddleSchool AssignedHighSchool CalderaHighSchool DeschutesCounty ReportDetail QueryDistanceFromParcel 1miles SchoolsInQuery 4 PrimarySchool PineRidgeElementary REJewellElementarySchool MiddleSchool HighDesertMiddleSchool HighSchool CalderaHighSchool OtherSchool SchoolMap
SchoolReport

School#1

SchoolDistrict Bend-LaPineAdministrativeSD1

School PineRidgeElementary

DistFromSubject095miles

19840HollygrapeSt

Bend Zip 97702

SchoolDistrict Bend-LaPineAdministrativeSD1 DistFromSubject110miles

158miles

SiteAddress
City
Type
Students
Charter
Magnet
2-No Title1 6-NotaTitleIschool Free/Reduced Lunch FTETeachers Count 3000 Student/Teacher Ratio 1700 GradeLevels Kindergarten-5thGrade Male 261 Female 249 Hispanic 58 White 409 Black 1 Am Indian 3 Asian/PacificIsl. 9
1-Regularschool
510
No
Title1Elig
School#2
SiteAddress
City
Type 1-Regularschool Students
Charter No Magnet Title1Elig 1-Yes Title1 5-TitleIschoolwideschool Free/Reduced Lunch FTETeachers Count 2775 Student/Teacher Ratio 1517 GradeLevels Kindergarten-5thGrade Male 210 Female 211 Hispanic 93 White 299 Black 4 Am.Indian 3 Asian/PacificIsl 7
School REJewellElementarySchool
20550MurphyRd
Bend Zip 97702
421
School#3
SiteAddress
City
Zip
Type 1-Regularschool Students
Charter No Magnet Title1Elig 2-No Title1 6-NotaTitleIschool Free/Reduced Lunch FTETeachers Count 3493 Student/Teacher Ratio 1915 GradeLevels 9thGrade-12thGrade Male 328 Female 337 Hispanic 142 White 486 Black 6 Am.Indian 3 Asian/PacificIsl. 6
SchoolDistrict Bend-LaPineAdministrativeSD1 DistFromSubject
School CalderaHighSchool
60925SE15thSt
Bend
97702
669

School#4

SchoolDistrict Bend-LaPineAdministrativeSD1

DistFromSubject275miles

School HighDesertMiddleSchool SiteAddress 61000DiamondbackLn

City Bend Zip 97702

Type 1-Regularschool

No Magnet

Title1Elig 2-No

710

Students
Charter
Title1
Free/Reduced Lunch FTETeachers Count
Student/Teacher Ratio
GradeLevels 6thGrade-8thGrade Male
Female
Hispanic
White
Black
Am Indian 3 Asian/PacificIsl.
6-NotaTitleIschool
3739
1899
350
360
180
489
11
7

OREGON AT-A-GLANCE SCHOOL PROFILE

2021-22 R E Jewell Elementary School

PRINCIPAL: Scott Edmondson | GRADES: K-5 | 20550 Murphy Rd, Bend 97702 | 541-355-2100

REGULAR ATTENDERS

Students who attended more than 90% of their enrolled school days. 55%

Academic Progress

INDIVIDUAL STUDENT PROGRESS

Year-to-year progress in English language arts and mathematics.

Academic Success

ENGLISH LANGUAGE ARTS

MATHEMATICS

Students meeting state grade-level expectations.

Data not available in 2021-22

SCIENCE

Students meeting state grade-level expectations. 28%

School Goals

Our promise is for every student to be known by name, strength and need; and to graduate ready for college, career and citizenship. Our focus is on people, starting with our teachers and school staff and extending to students, families and community partners. We ask teachers, school leaders and staff to hold our students to high expectations, to model those standards in their own behavior and to provide all students the support they need to succeed.

State Goals

The Oregon Department of Education is partnering with school districts and local communities to ensure a 90% ontime, four year graduation rate by 2025. To progress toward this goal, the state will prioritize efforts to improve attendance, provide a well-rounded education, invest in implementing culturally responsive practices, and promote continuous improvement to close opportunity and achievement gaps for historically and currently underserved students.

Safe & Welcoming Environment

Bend-La Pine Schools is committed to creating a safe and welcoming environment for all students. Our strategic priorities include

· Maximizing safety for students, staff, and the community.

· Ensuring physically and psychologically safe, secure and orderly learning environments.

· Building upon our foundation of prevention, intervention, emotional health and crisis preparedness.

Students We Serve Student Enrollment 427 DEMOGRAPHICS American Indian/Alaska Native Students 1% Teachers 0% Asian Students 2% Teachers 0% Black/African American Students 1% Teachers 0% Hispanic/Latino Students 21% Teachers 6% Multiracial Students 4% Teachers 0% Native Hawaiian/Pacific Islander Students 0% Teachers 0% White Students 72% Teachers 94% Ever English Learners 18% Languages Spoken 3 Students with Disabilities 9% Required Childhood Vaccinations 92% Free/ Reduced Price Lunch >95% *<10 students or data unavailable
Environment CLASS SIZE Median class size. 20 Oregon average 22
School
Oregon average
64%
state grade-level expectations. 48% Oregon average 44%
Students meeting
Oregon
36%
37%
average
Oregon
average 31%
School Website: www.bend.k12.or.us/JEWELL Eligibility for Free/Reduced Price Lunch expanded in 2020-21, for more information please visit: www.oregon.gov/ode/schools-and-districts/reportcards/reportcards/Pages/Accountability-Measures.aspx

Our Staff (rounded FTE)

28

R E Jewell Elementary School

Outcomes

7

REGULAR ATTENDERS

ENGLISH LANGUAGE ARTS

MATHEMATICS

90%

retention

About Our School

BULLYING, HARASSMENT, AND SAFETY POLICIES

EXTRACURRICULAR ACTIVITIES

PARENT ENGAGEMENT

COMMUNITY ENGAGEMENT

licensed

with more than 3 years of experience

Yes

93% Same principal in the last 3 years

Bend-La Pine Schools is committed to creating a safe and welcoming environment for all students. Our strategic priorities include

· Maximizing safety for students, staff, and the community.

· Ensuring physically and psychologically safe, secure and orderly learning environments.

· Building upon our foundation of prevention, intervention, emotional health and crisis preparedness.

Bend-La Pine Schools values extracurricular activities, including interscholastic sports, academic clubs, service clubs and more. To learn more about the activities offered at our school, connect with our staff or visit our school website for details.

We ask parents and families to partner with us in giving children the support they need to succeed at school. We ask community partners to consider committing more time and expertise. We offer numerous ways for interested families and community members to connect with our schools — through volunteering, attending school activities and events and much more.

We offer numerous ways for interested community members and businesses to connect with our schools. We partner with local businesses and community agencies to provide students with learning opportunities. Contact our schools to learn more about ways to connect.

OREGON AT-A-GLANCE SCHOOL PROFILE CONTINUED
2021-22
Teachers
Educational assistants
Counselors/ Psychologists
teacher
1
Average
rate
% of
teachers
American Indian/Alaska Native <10 students or data unavailable Asian <10 students or data unavailable Black/African American <10 students or data unavailable Hispanic/Latino 39% Multiracial 43% Native Hawaiian/Pacific Islander <10 students or data unavailable White 61% Free/Reduced Price Lunch 55% Ever English Learner 34% Students with Disabilities 25% Migrant <10 students or data unavailable Homeless <10 students or data unavailable Students in Foster Care <10 students or data unavailable Talented and Gifted <10 students or data unavailable Female 52% Male 58% Non-Binary <10 students or data unavailable
<10 students or data unavailable <10 students or data unavailable <10 students or data unavailable 29% <10 students or data unavailable <10 students or data unavailable 53% 48% 27% <10 students or data unavailable <10 students or data unavailable <10 students or data unavailable <10 students or data unavailable <10 students or data unavailable 59% 37% <10 students or data unavailable
<10 students or data unavailable <10 students or data unavailable <10 students or data unavailable 18% <10 students or data unavailable <10 students or data unavailable 43% 37% 12% <10 students or data unavailable <10 students or data unavailable <10 students or data unavailable <10 students or data unavailable <10 students or data unavailable 38% 37% <10 students or data unavailable
Data are suppressed to protect confidential student information. For more information please visit: www.oregon.gov/ode/schools-and-districts/reportcards/reportcards/Pages/Accountability-Measures.aspx

OREGON AT-A-GLANCE SCHOOL PROFILE

High Desert Middle School

PRINCIPAL: Mary Thomas | GRADES: 6-8 | 61000 Diamondback Ln, Bend 97702 | 541-355-7200

School

REGULAR ATTENDERS

Students who attended more than 90% of their enrolled school days. 56%

Academic Success

ENGLISH LANGUAGE ARTS

MATHEMATICS

Students meeting state grade-level expectations.

2021-22

Academic Progress

INDIVIDUAL STUDENT PROGRESS

Year-to-year progress in English language arts and mathematics.

School Goals

Our promise is for every student to be known by name, strength and need; and to graduate ready for college, career and citizenship. Our focus is on people, starting with our teachers and school staff and extending to students, families and community partners. We ask teachers, school leaders and staff to hold our students to high expectations, to model those standards in their own behavior and to provide all students the support they need to succeed.

State Goals

The Oregon Department of Education is partnering with school districts and local communities to ensure a 90% ontime, four year graduation rate by 2025. To progress toward this goal, the state will prioritize efforts to improve attendance, provide a well-rounded education, invest in implementing culturally responsive practices, and promote continuous improvement to close opportunity and achievement gaps for historically and currently underserved students.

Data not available in 2021-22

SCIENCE

Students meeting state grade-level expectations.

16% Oregon average 28%

Safe & Welcoming Environment

Bend-La Pine Schools is committed to creating a safe and welcoming environment for all students. Our strategic priorities include

· Maximizing safety for students, staff, and the community.

· Ensuring physically and psychologically safe, secure and orderly learning environments.

· Building upon our foundation of prevention, intervention, emotional health and crisis preparedness.

Students We Serve Student Enrollment 680 DEMOGRAPHICS
Indian/Alaska Native Students <1% Teachers 0% Asian Students 1% Teachers 0% Black/African American Students 2% Teachers 0% Hispanic/Latino Students 26% Teachers 5% Multiracial Students 3% Teachers 2% Native Hawaiian/Pacific Islander Students <1% Teachers 0% White Students 69% Teachers 93% Ever English Learners 21% Languages Spoken 6 Students with Disabilities 9%
Vaccinations
Free/
Price Lunch
*<10 students or data unavailable
American
Required Childhood
93%
Reduced
>95%
Environment CLASS SIZE Median
size. 22 Oregon average 22
class
Oregon
average 64%
grade-level expectations. 47% Oregon average 44%
Students meeting state
30% Oregon average 28%
School Website: www.bend.k12.or.us/HDMS Eligibility for Free/Reduced Price Lunch expanded in 2020-21, for more information please visit: www.oregon.gov/ode/schools-and-districts/reportcards/reportcards/Pages/Accountability-Measures.aspx

High Desert Middle School

REGULAR ATTENDERS

ENGLISH LANGUAGE ARTS

MATHEMATICS

About Our School

BULLYING, HARASSMENT, AND SAFETY POLICIES

Bend-La Pine Schools is committed to creating a safe and welcoming environment for all students. Our strategic priorities include

· Maximizing safety for students, staff, and the community.

· Ensuring physically and psychologically safe, secure and orderly learning environments.

· Building upon our foundation of prevention, intervention, emotional health and crisis preparedness.

EXTRACURRICULAR ACTIVITIES

Bend-La Pine Schools values extracurricular activities, including interscholastic sports, academic clubs, service clubs and more. To learn more about the activities offered at our school, connect with our staff or visit our school website for details.

PARENT ENGAGEMENT

We ask parents and families to partner with us in giving children the support they need to succeed at school. We ask community partners to consider committing more time and expertise. We offer numerous ways for interested families and community members to connect with our schools — through volunteering, attending school activities and events and much more.

COMMUNITY ENGAGEMENT

We offer numerous ways for interested community members and businesses to connect with our schools. We partner with local businesses and community agencies to provide students with learning opportunities. Contact our schools to learn more about ways to connect.

OREGON AT-A-GLANCE SCHOOL PROFILE CONTINUED 2021-22
Teachers
Educational assistants
Counselors/ Psychologists Average teacher retention rate
% of licensed teachers
Our Staff (rounded FTE) 37
6
4
92%
with more than 3 years of experience 90% Same principal in the last 3 years Yes Outcomes
American Indian/Alaska Native <10 students or data unavailable Asian <10 students or data unavailable Black/African American 33% Hispanic/Latino 46% Multiracial 47% Native Hawaiian/Pacific Islander <10 students or data unavailable White 59% Free/Reduced Price Lunch 56% Ever English Learner 47% Students with Disabilities 54% Migrant 86% Homeless <10 students or data unavailable Students in Foster Care <10 students or data unavailable Talented and Gifted 74% Female 55% Male 56% Non-Binary <10 students or data unavailable
<10 students or data unavailable <10 students or data unavailable <10 students or data unavailable 27% 42% <10 students or data unavailable 54% 47% 19% 16% 7% <10 students or data unavailable <10 students or data unavailable 88% 52% 42% <10 students or data unavailable
<10 students or data unavailable <10 students or data unavailable <10 students or data unavailable 11% 17% <10 students or data unavailable 37% 30% 10% 9% <5% <10 students or data unavailable <10 students or data unavailable 80% 33% 28% <10 students or data unavailable
Data are suppressed to protect confidential student information. For more information please visit: www.oregon.gov/ode/schools-and-districts/reportcards/reportcards/Pages/Accountability-Measures.aspx

OREGON AT-A-GLANCE SCHOOL PROFILE

Caldera High School

PRINCIPAL: Chris Boyd | GRADES: 9-10 | 60925 SE 15th ST, Bend 97702 | 541-355-5000

REGULAR ATTENDERS

Students who attended more than 90% of their enrolled school days.

2021-22

Academic Progress ON-TRACK

Students earning one-quarter of graduation credits in their 9th grade year.

Academic Success

ON-TIME

Students earning a diploma within four years. Cohort includes students who were first-time ninth graders in 2017-18 graduating in 2020-21

School Goals

Our promise is for every student to be known by name, strength and need; and to graduate ready for college, career and citizenship. Our focus is on people, starting with our teachers and school staff and extending to students, families and community partners. We ask teachers, school leaders and staff to hold our students to high expectations, to model those standards in their own behavior and to provide all students the support they need to succeed.

FIVE-YEAR COMPLETION

Students earning a high school diploma or GED within five years. Cohort Includes students who were firsttime ninth graders in 2016-17 finishing in 2020-21 <10 students in cohort

State Goals

The Oregon Department of Education is partnering with school districts and local communities to ensure a 90% ontime, four year graduation rate by 2025. To progress toward this goal, the state will prioritize efforts to improve attendance, provide a well-rounded education, invest in implementing culturally responsive practices, and promote continuous improvement to close opportunity and achievement gaps for historically and currently underserved students.

COLLEGE GOING

Students enrolling in a two or four year college within 16 months of completing high school in 201920. Data from the National Student Clearinghouse.

Safe & Welcoming Environment

Bend-La Pine Schools is committed to creating a safe and welcoming environment for all students. Our strategic priorities include

· Maximizing safety for students, staff, and the community.

· Ensuring physically and psychologically safe, secure and orderly learning environments.

· Building upon our foundation of prevention, intervention, emotional health and crisis preparedness.

Students We Serve Student Enrollment
Indian/Alaska Native Students <1% Teachers 0% Asian Students 1% Teachers 2% Black/African American Students 1% Teachers 0% Hispanic/Latino Students 21% Teachers 18% Multiracial Students 4% Teachers 2% Native Hawaiian/Pacific Islander Students <1% Teachers 0% White Students 73% Teachers 77% Ever English Learners 16% Languages Spoken 8 Students with Disabilities 11% Required Childhood Vaccinations 92% Free/ Reduced Price Lunch >95% *<10 students or data unavailable
633 DEMOGRAPHICS American
CLASS SIZE
School Environment
26 Oregon average 22
Median size of classes in core subjects.
Oregon average
50%
64%
TO GRADUATE
Oregon average 83%
94%
GRADUATION
<10 students in cohort Oregon average
Oregon average
<10 students in cohort Oregon average 56%
School Website: www.bend.k12.or.us Eligibility for Free/Reduced Price Lunch expanded in 2020-21, for more information please visit: www.oregon.gov/ode/schools-and-districts/reportcards/reportcards/Pages/Accountability-Measures.aspx

Yes

Outcomes

REGULAR ATTENDERS

ON-TRACK TO GRADUATE

ON-TIME GRADUATION

unavailable

<10 students or data unavailable

<10 students or data unavailable

<10 students or data unavailable

<10 students or data unavailable

<10 students or data unavailable

<10 students or data unavailable

<10 students or data unavailable

<10 students or data unavailable

<10 students or data unavailable

Coming in 2022-23

About Our School

ADVANCED COURSEWORK

Bend-La Pine Schools offer a range of advanced coursework and opportunities for students. These include, but are not limited to, Advanced Placement courses, International Baccalaureate programs of study, dual credit courses (in which students can obtain college credit in school) and much more. Contact counseling offices to learn more about potential options.

CAREER & TECHNICAL EDUCATION

Bend-La Pine Schools’ cutting-edge rigorous and relevant Career and Technical Education courses prepare students for a wide range of high-wage, high-skill, highdemand careers. More than 2,300 Bend-La Pine Schools’ students enrolled in CTE courses last year, with high schools offering more than 148 CTE courses. Students have the opportunity to explore a variety of CTE options including agri-sciences, business, culinary, engineering, forestry, future energy and power, graphic design and manufacturing technologies.

EXTRACURRICULAR ACTIVITIES

Bend-La Pine Schools values extracurricular activities, including interscholastic sports, academic clubs, service clubs and more. To learn more about the activities offered at our school, connect with our staff or visit our school website for details.

PARENT & COMMUNITY ENGAGEMENT

We ask parents and families to partner with us in giving children the support they need to succeed at school. We ask community partners to consider committing more time and expertise. We offer numerous ways for interested families and community members to connect with our schools — through volunteering, attending school activities and events and much more.

OREGON
CONTINUED
Staff (rounded FTE)
Teachers
Educational assistants 1 Counselors/ Psychologists Average teacher retention rate
data % of licensed teachers with more than 3 years of experience
principal in the last 3 years
AT-A-GLANCE SCHOOL PROFILE
2021-22 Caldera High School Our
35
<1
Not enough
82% Same
American Indian/Alaska Native <10 students or data unavailable Asian <10 students or data unavailable Black/African American <10 students or data unavailable Hispanic/Latino 52% Multiracial 35% Native Hawaiian/Pacific Islander <10 students or data unavailable White 50% Free/Reduced Price Lunch 50% Ever English Learner 52% Students with Disabilities 33% Migrant <10 students or data unavailable Homeless 42% Students in Foster Care <10 students or data unavailable Talented and Gifted 61% Female 50% Male 50% Non-Binary <10 students or data unavailable
<10 students or data unavailable <10 students or data unavailable <10 students or data unavailable 94% 92% <10 students or data unavailable 95% 94% 91% 92% <10 students or data unavailable <10 students or data unavailable <10 students or data unavailable >95% 94% 94% <10 students or data unavailable
<10 students or data unavailable <10 students or data unavailable <10 students or data unavailable <10 students or data unavailable <10 students or data unavailable <10 students or data unavailable <10 students or data
Data are suppressed to protect confidential student information. For more information please visit: www.oregon.gov/ode/schools-and-districts/reportcards/reportcards/Pages/Accountability-Measures.aspx
Butler Market Butler Market Hwy 20 Hwy20 Rickard Brosterhous Juniper Ponderosa Pine Ridge High Lakes Elk Meadow Lava Ridge Buckingham Bear Creek Silver Rail W.E. Miller R.E. Jewell Jack Ensworth New Elementary Morr lo Mcune aw 815 But Fs 03 Cougar Put La ene 18 4610 Popl 9Th Q ag ahog C 1 Ce ten p M mo Sad Woodsid or Rid ron Ha ema Bl kyv Robin oon Brasa anch W chelor lo View yra M zan West Ox in Lo ko rl apel rm O loo Highland Chapparal et Ori Ca elo Ke Sage Con at But k Regency Sunbe ectiv am vin K ze uffy We ng Mo ansas ttsd Darnel Hi nt Pe aton 85Th Ran ster Ma So Caf P ma T ee nderU Q Ri oods ros Da noxv ght mo Solstice leing Casa mb Wyeh Rastovich oy daho H Vintage H Talus st ng W d dge da rin kadee Fol acier View Cedar yl W Wago ire er W Buc ks le anchvew ury H Br W Ka H he k ye H Pocahont Le Ru G Co ara Deer d B Ta ano Rub Ambrosia nri Wi chi ple ot Mo eze O de arkey Bo de D try la Arne B ry Veryl bal Co M Ca m an 1 2 Me ke W anl de illtop Honeysuckle Shirley wl um op Gain Woode Rowa y Bo Cooley Gr Kristin enw SnapSh coon O Ro in Tu rry Mou Maricopa ant An Q Rive gar Me Ve M Office do ard dg ter oods Ri Juniper sb Wo unset 2nd ve Arr el Re aryGe Hwy 20 N ff Ri ck ard 3rd Do d ds P k y C ury Kn tt 79Hwy elPow But 27th A fa lfa M et War d B Cr e h4t G y OB R ley hnsJo Tumalo 5th relinykS h8t M cgrat 9th arP lle Ba er ellHunn u e Mark mbyHa Alfalf h18t lWal D chut M C ool ey B ad enka p Tum o Res ervoi Summit llceurP W E ks or tla nd dO B d ndmoRed M Wa o roster hous D ckey ran in aiB ey She in Park Bennet Meto u R og e Skyin R nch Awbrey F us on etutBerndiC 12th Rever 2 d B n on P tti A nol d M E m pir oB d iC laFe G re nwo d C D sivi n Y Zuni 14 h mHa okho P tnam A eihc Briggs oydB A ChinaHat Kio a We A c P Co ntryC ub oudSt River Wo ds S yawm Mu h ht91 koorB odwo Morrill Penn Cook odgL olep emA nca S m p cohC w T n B r R h 10 h P e a ssorCWN n Chase Colleg eviR de R bal inalccM P sael n egdiR Ga lv to N wpo G ngki M Ol n y mPi G nwo od ReMderketa Minnetonka T on Reed M a ket odowskoroB 8th Co y roloC o Ga lv es to B Creek kSrseinly 14th B koo oow h9t 79yHw Bo d N w por Emp re Shevlin Park 18 h C Hwy20 neC N por Mcgrah 79wyH M phy 1 PutBllewo e P h5t yliSk chanR h15t im 20190129
2019-20
Bend-La Pine Schools Elementary Attendance Areas Effective School Year
Nef 3 r d Kn o tt Hwy20 Wa rd P a r k w a y 4 h Ob Ril e y G o s n e y Johnson Hwy 97 Tu ma lo Ric kard 1 5 t h Bea r C reek 8 t h 2 7 h Century 9th Baker H u n n e Bu tler Mar ket H a m b y 1 8 h Wall D e s c h u t e s M a r k e Co oley B a d e a u P o w e B u t e M c grath Summit P u r c e Parrell E r c k s o n Wi son Por tla nd MtWashington B r o s t e r h o u s O d Bend Redmo n d Tu ma lo Reser voi r D c k e y Fra nk in Ba ley Steven s Bond ShevlinPark Metolius Roger s Awb re y Skyline Ranch Fergu son Brookswood CinderButte Revere 1 2 t h Em p re P e t g r e w 2 n d Brinson Arn old Market Greenwoo d Yeo ma n Zuni Skyliners H m e h o o k P u t n a m B o y d A c r e s Archie Br g gs WellsAcres ChinaHat 1 4 h K iowa Cline Falls Powers C o u n r y C u b Studio 19th Murphy Crossing Oln ey River Woods Morrill Pe nn Colorado Ar zo na C o o k L o d g e p o e A m e r c a n Simpson Pondero sa 1 0 h A fa fa Market Ch as e Riverside College Robal Ga veston Mcclain Newp or t Scott Pima G enwood Lemh i P ass Pleasant Ridge ReedMarket Hawth orn e Minnetonka Industrial Trenton Hwy 20 Murphy 1 8 t h P u c e 1 8 t h Sim p so n Shevlin Park S k y n e R a n c h Hwy 97 1 4 t h Crossing 9 h 1 5 t h Skyl ners Mcgrath Bond Hwy 97 1 5 h Mur phy Cas ca d e Sk y Vi ew Hi gh De se r t Pi l ot But te Pa cifi c C re st Bend -L a Pin e S choo ls Mid dle Sc hool Attend a nce A rea s Eff ecti ve S eptember 2 021
Neff 3 d Kn o tt Hwy20 Wa rd P a r k w a y 4 h Ob Ril e y G o s n e y Johnson Hwy 97 Tu ma o R c kard 1 5 t h Bea r C reek 8 t h 2 7 h Century 9th Baker H u n n e Bu tler Mar ket H a m b y 1 8 t h Wall D e s c h u t e s M a r k e t Co o ey B a d e a u P o w e B u t e M c grath Summit P u r c e Parrell E r c k s o n W lson Por tla nd MtWashington B r o s t e r h o u s O d Bend Redmo n d Tu ma o Reser vo r D c k e y Fra nk n Ba i ey Steven s Bond ShevlinPark Metolius Roger s Awb re y S k y n e R a n c h Fergu son Brookswood CinderButte Revere 1 2 t h Em p ire P e t g r e w 2 n d Br nson Arn o d Market Greenwoo d Yeo ma n Zuni Skyliners H a m e h o o k P u t n a m B o y d A c e s Arch e Brig gs WellsAcres ChinaHat 1 4 t h K iowa Cline Falls Powers C o u n t r y C u b Studio 19th Murphy Crossing Oln ey Morr l River Woods Pe nn Colorado Ar zo na C o o k L o d g e p o e A m e r c a n Simpson Pondero sa 1 0 h Alfalfa Market Ch as e Riverside College Robal Gal veston Mcclain Newp or t Scott Pima Gl enwood Lemh i P ass Pleasant Ridge ReedMarket Hawth orn e Minnetonka Industrial Trenton Hwy 20 Murphy 1 8 h P u c e 1 8 t h S m p so n Shevlin Park S k y n e R a n c h Hwy 97 1 4 t h Crossing 9 t h 1 5 t h Skyl ners Mcgrath Bond Hwy 97 1 5 h Mur phy Sum m it Bend H igh Mount ai n V iew New H igh Sc hool Bend -L a Pin e S choo ls Hig h S ch ool Atten da n ce A rea s Eff ecti ve S eptember 2 021 2 20 03

Places to Go & Things to Do

District at 388-5435.

Development Department of the Park & Recreation

trail concerns please call the Park Services and

& Recreation District. For questions or to report

River Trail are managed by the Bend Metro Park

The Bend Urban Trail System and the Deschutes

administered by the Bend Visitors and Convention Bureau.

www.bendparksandrec.org. Funding for this map provided by a City of Bend grant

Foundation to help build the river trail. For more information, see

DESCHUTES RIVER TRAILS SYSTEM

WELCOME TO THE DESCHUTES RIVER TRAIL!

or donating time or money to the Bend Park and Recreation

Bend Metro Park and Recreation District Adopt a Trail Program

Consider helping to maintain a section of trail through the

ADOPT A TRAIL PROGRAM

 No camping, smoking or fi res.

 Do not litter. If you pack it in, please pack it out.

disposal bags and trash cans.

removed. Dog “rest stops” along the trails provide you with

 Dogs must be on leash at all times and their waste properly

observe pedestrian-only trail sections.

 Bicyclists are not allowed on all sections of the trails. Please

 No motorized vehicles are allowed on the trails.

 Stay on the trail. Please don’t trespass on private property.

safe and pleasant for all users:

P ea s e o o w t h es e s m p e g u d e n es t o k e e p t h e t ai e x p e e n c e

TRAIL USE REGULATIONS

The Deschutes River Trail portion of the Bend Urban Trails System allows nearly uninterrupted access to the beautiful waterway that is the heart of the community. The trail system is divided into fi ve “reaches,” defined by landscape characteristics.

The Bend Park and Recreation District is at work building a fully connected river trail between Tumalo State Park and Meadow Camp. Once complete, the trail system will encompass nineteen miles of trails. This map shows existing trails open to the public.

AWBREY REACH

Visitors can access the River Trail at its northernmost point at Kirkaldy Court off of Putnam Rd. This section of the trail, constructed on top of the buried Tumalo irrigation canal, consists of soft-surface and unimproved surfaces, and includes a few moderate hills. Along the middle stretch of this reach, the river drops into a deep canyon but the trail stays high on the canyon wall, offering spectacular views of the river below and the Three Sisters in the distance. A steep climb up the Archie Briggs Canyon Trail connects to Mt. Washington Dr.

RIVER

RUN REACH

This section, favored by many locals, is also built over the Tumalo canal and was the first section of river trail to open in 1989. The surface is both soft-surface and unimproved, and is wide and relatively flat. The trail runs between the river and a high canyon wall, and passes through the River’s Edge golf course and adjacent neighborhoods. There are several wetlands in this reach, inhabited by songbirds, trumpeter swans, otter and beaver. Osprey frequently nest and fish here.

PIONEER REACH

This reach passes through the oldest and most established sections of Bend. The trail isn’t always right on the river, but instead follows sidewalks through neighborhoods and downtown. It passes through beautiful Drake Park on Mirror Pond and ends in McKay Park. There are several footbridges along the way offering opportunities to cross the river.

OLD MILL REACH

Once the site of two large ponderosa pine lumber mills, today the Old Mill Reach is a mix of river parks, the Shops at the Old Mill, and areas yet to be developed. Three footbridges connect trail legs on either side of the river, providing convenient walking loops. On the east side, the trails are hard surface from the Old Mill District to the Bill Healy bridge. The trail on the west side offers a mix of hard and soft surfaces. Farewell Bend Park provides two developed boat landings for paddlers using the Deschutes River water trail. The east side trail passes through Farewell Bend Park, which also provides two developed boat landings for paddlers using the Deschutes River water trail.

SOUTH CANYON REACH

This reach has trail legs on both sides of the river, connected by a new footbridge approximately 1 1/2 miles upstream of the Farewell Bend Park bridge. The river flows fast here through a beautiful canyon, cascading over rocks and logs.

West side: This reach’s west-side leg is known as the Mt. Bachelor Village Trail. Here the soft surface trail is open to pedestrians, but cyclists are not allowed. An alternative cycling route connects from the Bill Healy Bridge to the Haul Road Trail along Century Drive.

East side: The east-side trail at the northern end of this reach is unimproved surface, narrow and rocky in places; the southern end is on the gravel ditch road which runs above the river and next to the COID siphon pipe. There are several connections to nearby neighborhoods along the way.

DESCHUTES RIVER FLOWS SOUTH TO NORTH

Discover natural landscapes, wildlife, and scenic byways. Discover exceptional places to exercise, play, relax, or commute. Discover the Bend Urban Trails System.

POINTS OF INTEREST ALONG THE DESCHUTES RIVER TRAIL

 Included in the Oregon Cascade Birding Trail system, Sawyer Park offers the opportunity to spot a variety of birds.

 The historic Radamacher House and Plaza overlook Mirror Pond and Drake Park, with the Three Sisters visible in the background. This site includes a sign interpreting Bend’s founding.

 Located across the foot bridge from Drake Park, Pageant Park was named in commemoration of the Bend Water Pageant, a favorite community event that ran from 1933-1965. An interpretive sign describes the event highlight, the launch of large lighted floats on Mirror Pond.

 The Drake Park interpretive sign (located directly in front of the public restrooms) describes Bend’s early sense of community spirit.

 McKay Park is the site of the Oregon Trunk Railroad interpretive sign, which describes Bend’s early railroad history.

 Across the river from Farewell Bend Park is the new Riverbend Park, acquired in 2004 as community park space. The first phase of park development is planned for fall of 2005.

 Farewell Bend Park, Bend’s newest community river park, honors the history of the logging industry at this site with two interpretive signs. Two additional signs explain a riparian restoration project and other steps being made to care for the health of our river and its ecosystem. The park includes a playground and restrooms.

 The boardwalk here offers a view of Central Oregon Irrigation District’s Hydro site, where irrigation water is dropped back to the river through two turbines, generating electrical power. The public has access to this trail section thanks to an agreement with COID—please stay on the designated trail.

 Mt. Bachelor Village Resort, in partnership with Brooks Resources and the High Desert Museum, has provided a series of informative signs along this section of trail which describe the native habitat, foliage, and other points of interest.

 At this point along the trail, visitors can see the COID irrigation diversion which At this po nt the rai , vis tors can see the COID rr gat on diversion wh ch sends river water into the canal system to support agricultural and power production needs. Fish are directed back to the river by an elaborate fish screen. Danger: This area is not open to the public.

� � � � � �������� ������� ��������� ������� � � � � � � � � � � � � � � � � � � � � �� � � � �� ����� � ���� ���� ������ � �� �� � �� � � � � � � � � � � � � O District Downtown Bend To USFS Deschutes River Trai s ��� ������ ������� ������ ����� ��� ������ �� ������ � �� � � � � �� � � � � ��� ������� �� ������� � �� �������� ��� � �� ����� � � � ����� ��� � ������ � �� � � � �� �� � ��� � � � �
BEND URBAN TRAILS MAP ©2005 FOR FUN, FOR FRIENDS, FOR HEALTH, FOR LIFE! ™
MAP LEGEND �������������� �������� ��������� �������������� ����� ����� ������������������ ������������������ ������� ������������� ���������������� ����������� ������������������� ���������� � ������� � �������� �������� ���������� � � ������������� ����������� �������� ����������� ������������ ������������ ���� ���������� ������  ������������ AWBREY REACH RIVER RUN REACH PIONEER REACH OLD MILL REACH SOUTH CANYON REACH
Photo: Bob Woodward

Food Trucks/Carts

https://www.visitbend.com/food-drink/restaurants/food-carts/

https://www.google.com/search?q=food+carts+near+me&rlz=1C1GCEU_enUS874US875&oq=food+ca rts+&aqs=chrome.2.69i57j0i512j0i457i512j0i402j46i175i199i512l2j0i512l4.9132j0j15&sourceid=chrom e&ie=UTF-8

https://www.menupix.com/oregon/cn/158/370037/Food-Trucks-Prineville

https://www.google.com/search?q=food+trucks+in+sisters+oregon&rlz=1C1GCEU_enUS874US875&ei =nMxVYpS4Ns2dkPIPufeDoAg&oq=food+trucks+in+Sisters&gs_lcp=Cgdnd3Mtd2l6EAEYADIFCAAQgAQ yBQgAEIYDMgUIABCGAzoLCC4QgAQQxwEQrwE6BggAEBYQHkoECEEYAEoECEYYAFAAWPcKYNAiaABw AXgAgAHRAYgBugmSAQUwLjYuMZgBAKABAcABAQ&sclient=gws-wiz

https://www.google.com/search?q=food+trucks+in+madras&rlz=1C1GCEU_enUS874US875&ei=nMxV YpS4Ns2dkPIPufeDoAg&ved=0ahUKEwiU9pOLm4_3AhXNDkQIHbn7AIQQ4dUDCA8&uact=5&oq=food +trucks+in+madras&gs_lcp=Cgdnd3Mtd2l6EAMyBggAEBYQHjIFCAAQhgMyBQgAEIYDOgcIABBHELADO goIABBHELADEMkDOggIABCABBDJAzoFCAAQkgM6BQgAEIAEOgsILhCABBDHARCvAUoECEEYAEoECEYY AFDeEliMGmDVHGgBcAF4AIABrQGIAZoHkgEDMC42mAEAoAEByAEHwAEB&sclient=gws-wiz

https://www.google.com/search?q=food+trucks+in+culver+oregon&rlz=1C1GCEU_enUS874US875&ei =bM1VYqjDC_bTkPIP_Zuj2AY&ved=0ahUKEwioqYDum4_3AhX2KUQIHf3NCGsQ4dUDCA8&uact=5&oq =food+trucks+in+culver+oregon&gs_lcp=Cgdnd3Mtd2l6EAMyBQghEKsCOgoIABBHELADEMkDOgcIABB HELADOgYIABAWEB46BQgAEIYDOgUIIRCgAUoECEEYAEoECEYYAFD2BljNDmCFEGgBcAF4AIABswGIAcQ JkgEDMC43mAEAoAEByAEEwAEB&sclient=gws-wiz

https://pdx.eater.com/maps/best-restaurants-bend-oregon-guide

Central Oregon Healthy Food

https://www.visitbend.com/food-drink/restaurants/vegan-vegetarian-gluten-free/

https://www.google.com/search?q=healthy+eats+in+central+oregon&rlz=1C1GCEU_enUS874US875& ei=Vs5VYo6xJp_TkPIPjIqV4AI&ved=0ahUKEwiOtOXdnI_3AhWfKUQIHQxFBSwQ4dUDCA8&uact=5&oq =healthy+eats+in+central+oregon&gs_lcp=Cgdnd3Mtd2l6EAM6BggAEAcQHjoICAAQBxAFEB46BQgAEI YDSgQIQRgASgQIRhgAUABYjyhg6D5oAnABeAGAAe8DiAHND5IBCjIuMTAuMS4wLjGYAQCgAQHAAQE &sclient=gws-wiz

Kid Friendly Attractions

https://forgetsomeday.com/things-to-do-in-bend-oregon-with-kids/

https://www.cascadiakids.com/things-do-kids-bend-oregon/

https://oldmilldistrict.com/things-to-do-with-kids/

https://www.visitbend.com/things-to-do/activities/kid-family-friendly-activities/

Farmers Markets in Central Oregon

https://visitcentraloregon.com/dining/food/farmers-market/

https://www.localharvest.org/prineville-or/farmers-markets

https://hdffa.org/its-farmers-market-season/

https://redmondoregonfarmersmarket.com/

https://www.sistersfarmersmarket.com/

https://www.localharvest.org/redmond-or/farmers-markets

https://www.madrassaturdaymarket.com/

Central Oregon Breweries

https://www.visitbend.com/food-drink/restaurants/brewery-pub/

https://www.google.com/search?q=breweries+in+central+oregon&rlz=1C1GCEU_enUS874US875&oq =&aqs=chrome.0.69i59i450l8.68566434j0j15&sourceid=chrome&ie=UTF-8

https://visitcentraloregon.com/dining/drinks/breweries/redmond/

https://beermebend.com/bend-oregon-brewery-locations/

https://www.google.com/search?q=prineville+breweries&rlz=1C1CHBD_enUS1025US1025&oq=prine ville+breweries&aqs=chrome..69i57j0i22i30j0i390i650.4688j0j7&sourceid=chrome&ie=UTF-8

https://www.google.com/search?q=breweries+in+madras+oregon&rlz=1C1CHBD_enUS1025US1025& oq=breweries+in+madras+oregon&aqs=chrome..69i57.6398j0j4&sourceid=chrome&ie=UTF-8

Private Schools in Central Oregon

https://www.niche.com/k12/search/best-private-schools/c/deschutes-county-or/

https://movingtobend.com/relocation-blog/2021/a-guide-to-public-and-private-schools-in-bendoregon/

https://www.countyoffice.org/bend-or-private-schools/

Central Oregon Winter Activities

https://www.visitbend.com/things-to-do/activities/winter-fun/

https://visitcentraloregon.com/things-to-do/activities/winter/

https://www.google.com/search?q=winter+activities+central+oregon&rlz=1C1CHBD_enUS1025US102 5&oq=winter+activities+central+oregon&aqs=chrome..69i57j0i22i30l2j0i390i650l3j69i60l2.14288j0j4 &sourceid=chrome&ie=UTF-8

Central Oregon Trivia and Bingo Nights

https://www.riversplacebend.com/games

https://beermebend.com/bend-oregon-brewery-locations/

https://www.bendsource.com/bend/bingo-with-bren-supporting-saving-grace/Event?oid=16320982

https://www.visitbend.com/food-drink/astro-lounge/

https://theyardfoodpark.com/events/

https://www.silvermoonbrewing.com/events

https://www.bendsource.com/bend/tuesday-night-trivia-in-redmond/Event?oid=18829261

Calendar of Events for Central Oregon

https://visitcentraloregon.com/calendar-of-events

https://www.bendsource.com/bend/EventSearch?v=g#grid

https://www.visitbend.com/event-calendar/

Economic Development For Central Oregon

ECONOMIC DEVELOPMENT FOR CENTRAL OREGON EDCOINFO.COM #EDCOINFO @EDCOINFO 705 SW BONNETT WAY SUITE 1000 BEND, OR 97702 541.388.3236 2022 CENTRAL OREGON ECONOMIC PROFILE

Table of Contents

Welcome to Central Oregon

Where the commute times are short and breathtaking views await you at every turn. The region features dramatic snow-capped mountain ranges and high desert plateaus within Deschutes, Crook and Jefferson counties.

Located halfway between San Francisco and Seattle, one of the hottest small metropolitan markets in the U.S. is Central Oregon. In the last decade the region has seen some of the highest sustained GDP growth, job growth and population growth. With these factors in mind, The Milken Institute has named the region the best small metropolitan in the nation four years in a row – an unprecedented feat no other location has ever received.

Central Oregon is pulling extraordinary talent and capital, fostering a diverse and highly entrepreneurial business ecosystem. Deschutes County received the most investment in Oregon in 2022, according to Smartasset. Lured by natural scenic beauty and big city amenities without big city costs or hassle, people are learning that having a true work-life balance is possible. Employees are happier and companies are more innovative and capital-efficient. All in a region dominated by small to mid-sized firms that compete globally – and win.

Welcome........................................................................................................ Central Oregon Overview................................................................................ Population..................................................................................................... Move.............................................................................................................. Relocate / Expand.......................................................................................... Start................................................................................................................ Entrepreneurial Support................................................................................. Grow............................................................................................................... Workforce...................................................................................................... Delivering What Is Expected......................................................................... Transportation............................................................................................... Services / Infrastructure................................................................................ Top Employers............................................................................................... Foundations of Central Oregon’s Economy................................................... Lifestyle......................................................................................................... About EDCO................................................................................................... 2 3 4 6 7 8 9 10 11 12 13 14 15 16 20 21 Page 2 - Economic Development for Central Oregon

CENTRAL OREGON OVERVIEW

Regional Population: 253,761

(2021 estimates from Portland State University)

Regional Labor Force: 123,953

(Seasonally adjusted total for 2021 from Oregon Employment Department)

Bend-Redmond MSA GDP Per Capita: $54,390

(2020 estimate from the Bureau of Economic Analysis)

*Bureau of Economic Analysis data is only available for the Bend-Redmond MSA

Access to and from our region has never been easier with five national carriers flying up to 54 segments daily to nine international airports. Central Oregon is served by one of the most vibrant and successful regional airports in the country at Redmond (RDM).

edcoinfo.com - Page 3

Central Oregon has been among the fastest growing regions anywhere in the U.S.

In-migration has been the dominating factor in the region’s growth. With millions of visitors annually, Central Oregon continues to attract thousands of new residents from all over the country each year for it’s outdoor amenities, arts and culture opportunities, quality healthcare, and a growing education system.

“Central Oregon’s economic growth is stronger than the state and nation overall. The primary reason is the high quality of life that attracts new residents. Faster population growth means local businesses can hire and expand at a faster rate due to the influx of working-age migrants and the growing labor force.”

Oregon Jefferson County 11.4% 14.6% 85.2% 63.7% Area POPULATION CHANGES FOR CENTRAL OREGON Percent Change 2010 - 2021 Net Migration % 2010 - 2021 Counties Deschutes County 28.9% 89.0% Crook County 21.5% 81.1% Source: Population Research Center, PSU 2021. Oregon Employment Department, 2021. Page 4 - Economic Development for Central Oregon
POPULATION

NEW RESIDENTS, NEW IDEAS & NEW ENERGY

#1 TOP 10 COOLEST PLACES TO GO IN THE NEXT 10 YEARS

With over 4.5 million visitors flocking to Central Oregon each year, it proves a great introduction to our region’s culture, lifestyle and a great first impression for businesses. Central Oregon and the Bend-Redmond MSA continually top the nation in population growth. In fact, Bend has been among the 15 fastest growing cities in the U.S. five of the last six years. While our population grows, so does our workforce. We’re cultivating a community that has consciously decided to live here and attracting new talent pools to serve the increasing demand for labor.

POPULATION TOTALS FOR CENTRAL OREGON

- FORBES , 2021 Oregon 3,837,300 4,237,256 3,421,399 4,013,845 4,266,620 Area 2010 2020 2000 2015 2021 Crook County 21,020 23,440 19,184 21,085 25,482 Deschutes County 157,905 197,015 115,367 170,740 203,390 Bend 76,740 92,840 52,029 81,310 100,922 La Pine 1,660 2,005 1,670 2,654 Redmond 26,225 32,215 13,481 27,050 36,122 Sisters 2,040 3,220 959 2,280 3,286 Unincorporated 51,240 66,735 48,898 53,151 60,406 Jefferson County 21,750 24,105 19,009 22,445 24,889 Tri-County Total Source: Population Research Center, PSU. 2000 & 2010 Census numbers are for April 1 of that year; 2015-2021 data are for July 1 of that year. 200,675 244,560 153,560 214,270 253,761 Not incorporated
11.4% % Growth 2010-2021 21.5% 28.9% 24.1% 27.4% 38.0% 15.3% 14.6% 20.9% 37.7% edcoinfo.com - Page 5

MOVE

Business Cost Comparison

Oregon offers more incentive programs to traded-sector* businesses than Washington or California. Even without taking those incentives into consideration, Oregon is still a more cost-effective choice for doing business. Contact EDCO for a detailed look at the business costs in Central Oregon.

*companies that sell their products or services outside the area, bringing new jobs and capital investment to the area

“While our move to Central Oregon may have started for personal reasons, it has allowed us to do more with our business than we thought possible. It has allowed us to hire amazing employees – the available talent here in Central Oregon has proven to be of the highest caliber and chocked full of integrity. Sometimes you feel like you can get lost in a big city. In Sisters we have been able to be part of a growing and nurturing business community.” - Wyatt Woods, President and Owner, Holy Kakow

Case Study: Holy Kakow

Founded in Portland in 2009, Holy Kakow creates premium organic chocolate sauces and syrups that are used in coffee shops across the nation and globe. After running the business for nearly a decade, Founder Wyatt Woods decided a move to the City of Sisters would be beneficial for his family. The next step was to figure out how to move the successful business. After EDCO’s help with site selection, incentives, permitting, and more, Holy Kakow was able to move their operations into a new building in the Sisters Business Park. The relocation allowed them to scale for growth, even during the pandemic, expanding their employment from three to eight in the span of a couple months. Holy Kakow have their sights set on new product launches. With the backing of the community and the growing number of craft food businesses in Sisters, the company is surrounded by a strong business ecosystem to help them succeed.

6.16¢ Avg. Electricity Rate (¢/kWh) None State & Local Sales Tax Rate $4.73 Avg. Natural Gas Rate ($/kcf) #22 State Business Tax Climate Index OR 15.14¢ 7.25%+ $9.74 #48 CA 5.81¢ 6.5%+ $7.72 #15 WA
We guide employers outside the region through the relocation process as a resource for regional data, incentives, talent, site selection, and A-Z problem solving.
Page 6 - Economic Development for Central Oregon
Sources: Tax Foundation 2022, US Energy Information Association (Natural Gas) 2021, US Energy Information Association (Electricity) 2021

RELOCATE & EXPAND

Get connected to our growing industry clusters that include: craft brewing/distilling, bioscience, outdoor products, technology, aerospace, and advanced manufacturing.

We link you to tools to help your company including: connections to the local supply chain, talent acquisition, incentives, business finance, market intelligence, and more.

WHY CENTRAL OREGON?

Central Oregon offers a pro-business environment with several incentives and supportive business finance options to encourage economic growth. Oregon also allows corporate net operating losses to be carried forward for up to 15 years without a cap, which can meaningfully reduce your business’s tax liability.

We help you navigate the regional and local real estate market, infrastructure and permitting processes.

For businesses looking to relocate, Central Oregon has a reputation for welcoming new companies. The region offers a tightknit community without sacrificing talent, education opportunities, or quality healthcare. EDCO’s network can help your business streamline decisions when choosing a new home.

edcoinfo.com - Page 7

We mentor and advise scalable young companies from concept to exit on issues such as access to capital, critical expertise and business strategy.

“The support we’ve received from EDCO and other organizations has been tremendous and allowed us to grow and develop our network and further develop our business in a short time. Their proactive approach to assisting and encouraging entrepreneurship in this region has been paramount to some of the large strides we’ve taken this year.”

Case Study: SherpTek

SherpTek was among the first tenants to take occupancy in the redeveloped Woodgrain mill site, re-branded the “Prineville Campus,” where they design and manufacture modular truck bed systems and accessories to improve the functionality and adaptability of pickup trucks for day-to-day use and outdoor adventures.

SherpTek is an innovator in the automotive/outdoor industry. Their Founder and Lead Design Engineer, Ryan Goodwin, uses composite aerospace materials and construction methods to create a lightweight, yet super durable, precision-engineered product. SherpTek was one of Prineville’s first companies to pitch at EDCO’s Central Oregon PubTalk, an event that showcases local entrpreneurs. The company has been and continues to be supported by EDCO as well as many local and State partners in areas such as business financing, incentive utilization, internship coordination, staffing, network connections, scalability, and pitch coaching. Despite having just moved their start-up to Prineville earlier this year, SherpTek has ingrained itself into the entrepreneurial fabric of the region. They are already expanding their manufacturing facilities, hiring additional employees and training local high school students on their specialized processes.

* EDIT TITLE
START
Page 8 - Economic Development for Central Oregon

A driving force for our economic performance is a collaborative and inclusive entrepreneurial community. This is supported via the number of new business registrations, which has outpaced far larger cities. In 2022, AdvisorSmith ranked Bend fifth for Top Midsize Cities where Americans Start the Most Businesses at 3.79 businesses started per 1,000 residents.

The region is large enough to provide resources and access to capital that help new entrepreneurs get started, while still being small enough that those resources are interconnected to support businesses as they grow. Unique to Central Oregon, given its size, are the numerous community resources and assets that are available. Assets managed by EDCO include monthly Central Oregon PubTalks, the Stable of Experts mentorship program and the largest Angel Conference in the PNW, the Bend Venture Conference.

BEST SMALL CITIES FOR STARTING A BUSINESS

Source: WalletHub, April 2022.

Both Redmond and Bend made WalletHub’s Top 30 list for best cities to start a business at #16 and #17 respectively, based on an index of criteria that included business environment, access to resources and business costs. They were the only two Oregon cities to make it in the top 350 of 1,334 small cities ranked in the index.

ENTREPRENEURIAL SUPPORT St. George, UT Bend, OR 359 1 2 3 16 17 4 1 8 5 3 54 Area
Access to Resources Rank National Rank Business Environment Rank Washington, UT 3 Bozeman, MT 18
OR 127
Redmond,
edcoinfo.com - Page 9

GROW

“Our flagship manufacturing facility is located in Bend, nestled at the base of the Cascade Mountain Range, which also inspired the brand name. The views and outdoor amenities are unmatched, but the entrepreneurial and community support we have received from day one has been the driving factor in bringing our homegrown business sustainable success in Oregon and beyond. Our employees, customers and partners are what make Bend home and inspire continued growth.”

Case Study: Broken Top Brands

Broken Top Brands creates handmade, sustainable, eco-conscious candles and body products that have been featured in National media outlets such as BuzzFeed, Oprah Daily and HuffPost. Started in 2015 out of Founder Affton Coffelt’s kitchen in Bend as Broken Top Candle Co., the company has now blossomed to 19 employees and recently moved into an 18,000 SF manufacturing facility.

Broken Top Brands is currently selling an array of all natural, biodegadble and paraben-free lifestyle products in the USA, as well as Canada and parts of Europe. The brand’s market is primarily wholesale with an organically growing e-commerce presence. Customers can find their products in over 2,800 retail locations nationally and internationally, with Whole Foods being their largest account.

Broken Top Brands was attracted to starting a business in Central Oregon for its quality of life and supportive community. Due to it’s unique company culture and location, the business has had success retaining employees which has enabled its continued expansion. Although supply chain timelines and transportation costs have been challenges through the pandemic, Broken Top Brands has sustained steady growth and continues to partner with EDCO, 1% for the Planet, One Tree Planted, Opportunity Knocks, Bend Chamber, and Business Oregon to serve their loyal customer base.

We partner with local traded-sector companies to help them grow and expand, offering them the very same incentives and assistance as relocation projects.
Page 10 - Economic Development for Central Oregon

#5 FOR 5-YEAR JOB GROWTH IN THE U.S.

Private sector employment grew by 47% in Central Oregon over the last 10 years, which is significantly faster than the statewide growth of around 20%. Employment in the private sector is projected to grow by 12% across the region between 2019 and 2029.

Workforce Development

Improving the Readiness and Employability of Central Oregon’s Future Workforce

Now in its fourth year, Youth CareerConnect (YCC) continues to connect employers and students with real work experience throughout Central Oregon. By supporting internships and experiential learning opportunities in the community, YCC has made it simpler for schools and employers to connect while fostering a work-ready labor force for years to come.

YCC Internship Coordinators host office hours at schools across the region to help students with professional goal setting, resume writing, interview skills, and internship placement for high school, college and alternative education students. Since its inception in 2017, YCC has built a rolodex of over 360 business partners and placed more than 493 students in meaningful internships. Personalization for both the business and the student is at the core of what YCC does, and why it continues to thrive. To get involved with Youth CareerConnect, visit: youthcareerconnect.org

WORKFORCE
- Damon Runberg, Oregon Employment Department
Source: State of Oregon Employment Department, 2021 Oregon 14.3% U.S. MANUFACTURING EMPLOYMENT GROWTH (2010-2021) 7.1% Deschutes County 60.6% Redmond 75.3% edcoinfo.com - Page 11

DESCHUTES COUNTY #1 COUNTY RECEIVING THE MOST INCOMING INVESTMENT IN OREGON

-SMARTASSET, 2022

“Central Oregon enjoys a truly collaborative environment. Everyone is not only supportive of each other, but excited to see one another grow. We share the same trails, rivers and slopes and ultimately share a similar vision to help the region succeed.”

The combination of a collaborative culture, a supportive attitude among government and economic development partners, plus a location that attracts talent and investment all help Central Oregon compete nationally.

- Scott Allan , Former CEO and GM, Hydro Flask
Rank County New Building Permits (per 1,000 homes) Business Growth Federal Funding (per capita) GDP Growth (millions) Incoming Investment Index 1 3 5 2 4 6 Deschutes 26.4 Marion 13.8 Washington 13.4 Crook 21.8 Linn 15.8 Jefferson 9.8 Oregon Totals 7.8 11.3% $211 6.8% $920 4.1% $340 7.8% $225 4.8% $103 8.9% $192 3.4% $265 $317 56.94 $354 43.91 $660 42.09 $23 49.48 $111 42.77 $17 41.99 $1,480 Source: SmartAsset, 2022 INCOMING INVESTMENT BY COUNTY IN OREGON DELIVERING WHAT IS EXPECTED Page 12 - Economic Development for Central Oregon

TRANSPORTATION

Redmond Municipal Airport (RDM; www.flyrdm.com ) provides commercial air service with an average of 27 daily outbound flights to Burbank, Denver, Los Angeles, Palm Springs, Phoenix, Salt Lake City, San Diego, San Francisco, and Seattle via five carriers (Alaska, American, Avelo, Delta, and United).

Average Commute Times

SanFranciscoLosAngeles

The Central Oregon average commute time is 24 minutes each way, saving the average worker nearly one work week per year !

Source: Census.gov 2021

Travel Time & Distance by Car

RAIL FREIGHT

Burlington Northern-Santa Fe (BNSF), Union Pacific (UPRR) and the City of Prineville Railway (COPR) provide direct connections for shipping to any market in the United States, Canada and Mexico.

Travel Time By Air

U.S. Highways 97 and 20 are two of the State’s major trucking routes, with access to major metro areas with connections to Interstate 5 (N-S) and Interstate 84 (E-W).

PHOENIX, AZ

2 hour, 30 minutes

PALM SPRINGS, CA

Coming November 2022

SAN DIEGO, CA

2 hours, 40 minutes

30 min 33.3 min 31.9 min 27.7 min 26.2 min 16.6 min 25.7 min
20 min 10 min 0 min
OR 164 miles
hours, 13 minutes
WA 269 miles 4 hours, 44 minutes
LAKE CITY, UT 1 hour, 30 minutes
WA 329 miles 5 hours, 46 minutes BURBANK, CA 1 hour, 30 minutes
CO
hours, 24 minutes
ANGELES, CA 820 miles 12 hours, 38 minutes BEND, OR REDMOND,
RDM
OR 173 miles 3 hours, 15 minutes
WA
hour, 10 minutes
316 miles 5 hours, 12 minutes
FRANCISCO, CA 1 hour, 10 minutes
FRANCISCO,
491 miles
hours,
PORTLAND,
3
OLYMPIA,
SALT
SEATTLE,
DENVER,
2
LOS
OR
MEDFORD,
SEATTLE,
1
BOISE, ID
SAN
LOS ANGELES, CA 2 hours SAN
CA
7
55 minutes
Seattle Portland Denver Bend
AIR
edcoinfo.com - Page 13

UTILITIES

Most of our region has been newly built in the past two decades, making Central Oregon’s telecommunications infrastructure one of the Northwest’s most technologically advanced. Businesses and telecommuters benefit from reliable fast data speeds and upload times.

EDUCATION

Central Oregon is well-recognized for its high level of education, with some of the best K-12 public schools in the nation. In 2021, the Bend-La Pine school district’s average SAT scores surpassed the national average by over 180 points. Additionally, our higher education opportunities abound. From Oregon State University-Cascades’ ongoing expansion, to Central Oregon Community College’s four campuses in the region, there are opportunities for all to obtain a quality education.

HEALTHCARE

St. Charles Health System is the largest healthcare provider in the region, and is also the largest employer with over 4,500 employees across the tri-county area. The hospital received HealthGrade’s 2021 Pulmonary Care Excellence Award™ and offers a network of more than 100 clinics and specialty practices throughout the community.

& INFRASTRUCTURE
SERVICES
Page 14 - Economic Development for Central Oregon

TOP EMPLOYERS

According to the Oregon Employment Department, 76% of Oregon establishments have between one and nine covered payroll employees and the average private establishment employs around 11 people.

Still, a number of large employers operate successfully here, tapping into Central Oregon’s ever-expanding workforce, the overall low cost of doing business and business-friendly local governments. This year, the top 50 private companies collectively employ nearly 21,000 Central Oregonians, or roughly 21.9% of the region’s current total employment.

2021 Central
Private by Employment Trade, Transportation, & Utilities Education & Health Services Leisure & Hospitality Professional & Business Services Mining, Logging & Construction Manufacturing Financial Activities Other Services Information 7% 4% 2%
Oregon Industry Composition
- Oregon Employment Department , 2011-2021
CENTRAL OREGON RANKED #1 IN THE STATE FOR JOB GROWTH AT 29.7%
1 9 17 5 13 21 7 15 23 31 27 35 T-24 T-33 T-29 37 42 45 T-46 2022 1 7 T-13 5 12 T-23 8 15 T-23 36 T-17 T-38 28 T-38 T-31 37 NL 47 46 2021 4,509 605 336 894 375 249 640 350 238 206 225 199 235 200 220 176 159 153 150 2022 St. Charles Health System regional 2022 Central Oregon Largest 50 Private Employers Employees Rank McDonald’s regional PacificSource Mt. Bachelor Black Butte Ranch Opportunity Foundation Fred Meyer regional Meta - Facebook Data Center NeighborImpact regional Endura Products Eagle Crest - Aimbridge Hospitality Keith Manufacturing Co. 10 Barrel Brewing Co. Touchmark at Mt. Bachelor Village Tetherow First Interstate Bank regional Hayden Homes Rebound Physical Therapy regional Dutchie 4,626 682 365 860 375 259 669 350 259 200 300 195 230 195 220 198 122 149 150 2021 2 10 18 6 14 22 8 16 T-24 32 28 36 T-39 41 44 T-46 50 26 T-33 T-29 38 T-39 43 T-46 49 2 10 20 6 T-13 19 9 T-23 22 21 35 48 NL 42 41 T-43 T-50 29 40 33 45 30 T-31 T-17 T-43 1,030 440 296 714 365 245 628 340 235 204 221 190 165 164 154 150 142 226 200 220 171 165 157 150 149 Bright Wood Corporation regional Lonza, formerly Bend Research High Lakes Health Care regional Safeway regional ibex Consumer Cellular Summit Medical Group regional BASX Pronghorn Resort Bi-Mart regional Epic Air Indian Head Gaming Albertsons regional Nosler J Bar J Youth Services Deschutes Brewery Laird Superfood NL = Not Listed | T = Tied PCC Schlosser Sunriver Brewing Company The Center (Ortho/Neuro Care) Western Heavy Haul & SMAF G5 Riverhouse on the Deschutes BendBroadband/TDS Telecom Ray’s Food Place regional 1,093 438 279 751 365 294 607 259 270 272 210 145 201 173 174 162 132 224 190 216 155 221 220 300 162 3 11 19 3 16 26 1,000 415 280 Sunriver Resort Rosendin Electric Inc. Brasada Ranch 1,000 317 250 4 12 20 4 11 27 916 391 267 Les Schwab regional Mosaic Medical regional Medline ReNewal 890 378 246 21% 19% 16% 13% 10% 9% Source: State of Oregon Employment Department, 2021 edcoinfo.com - Page 15

FOUNDATIONS OF CENTRAL OREGON’S ECONOMY

ADVANCED MANUFACTURING AVIATION & AEROSPACE

• More than 100 businesses in advanced manufacturing make their own products here in Central Oregon, as well as provide a critical role in the supply chain for other OEM in aviation/aerospace, brewing & distilling, specialty food processing, and automotive.

• Additive and subtractive machining of metals and plastics, advanced welding and metal fabrication, specialty metals casting, production printing and publishing, as well as specialized machinery and equipment continue to advance locally.

• The largest employers in this industry group include Precision Cast Parts (PCC) Schlosser, Keith Manufacturing and BasX Solutions.

• The production of light aircraft in Central Oregon spans back more than 30 years and over that time, 25 aircraft have moved through the process of conceptual design to flight.

• Composite (carbon fiber) fabrication and innovation aircraft are the region’s specialty offering a cluster of world-class talent and capabilities here.

• Some of the most successful flight training programs in the country are located in the region with both fixed-wing and helicopter flight schools that serve the global industry, including Leading Edge, Hillsboro Aero Academy and Central Oregon Community College.

Page 16 - Economic Development for Central Oregon

BIOSCIENCE

• Producing everything from titanium implants to cutting edge drug research, our bioscience industry has been experiencing year-over-year double digit employment growth for nearly a decade.

• Quietly, Central Oregon’s bioscience industry has proven capable of attracting world class scientific and technical talent that has made companies here competitive on a global scale.

• Swiss-based pharmaceutical research and manufacturer Lonza is the largest bioscience company in the region, and among the largest in Oregon, with two campuses and additional operations scattered across the region.

BREWING & DISTILLING

• Central Oregon is home to breweries both large and small, with Deschutes Brewery’s production placing it in the top 10 largest craft breweries in the U.S.

• For Oregon, which has 312 craft breweries, nearly one-third of the largest 30 brewers by volume, are located in Central Oregon – testimony to the quality of product produced here.

• The region is also home to a dozen craft cideries and distilleries, two of which, Bendistillery and AVID Cider, are the second largest in the state in their respective sectors.

#3 LEADING HOP PRODUCTION STATE

#2 BEST CITIES FOR BEER DRINKERS

-STATISTA, 2020
-SMARTASSET, 2022 FOUNDATIONS OF CENTRAL OREGON’S ECONOMY edcoinfo.com - Page 17

FOUNDATIONS OF CENTRAL OREGON’S ECONOMY

BUILDING PRODUCTS

• After 100+ years and considerable systemic change across the industry, the building products sector is still Central Oregon’s largest traded-sector employer.

• Businesses in this sector compete and win on a global scale, innovating and automating as global leaders in their respective sub-industries, including wood doors and windows, mouldings, cabinetry, furniture, and musical instruments.

• The region’s largest manufacturer and second largest private employer, Brightwood Corporation, is based in Madras, with operations in Redmond, Culver and Prineville. The company has been growing in Central Oregon for over a half century.

OUTDOOR GEAR & APPAREL

• Central Oregon is home to a diverse group of businesses in a variety of subsectors, including rock climbing, water sports, hydration, hiking, backpacking, recreational vehicles, road and mountain biking, outerwear, and software.

• The region is home to the Oregon Outdoor Alliance (OOA) and Oregon’s Office of Outdoor Recreation, both of which are dedicated to connecting and cultivating the industry.

• Bend Outdoor Worx is the country’s first dedicated startup accelerator for the industry and offers investment, exposure and access to vetted resources for outdoor innovators.

#5 GREAT CITIES IN THE U.S. FOR OUTDOOR ADVENTURES

Page 18 - Economic Development for Central Oregon
- WASHINGTON POST, 2022

FOUNDATIONS OF CENTRAL OREGON’S ECONOMY

PROFESSIONAL SERVICES

• Professional services are incrasingly being exported out of the tri-county region including engineering, architecture, accounting, HR, recruitment, creative services, advertising, and publishing to name a few

• The creative, marketing and advertising sub-sectors of this industry are particularly strong in Central Oregon with firms being attracted to the region from as far away as Barcelona, Spain.

TECHNOLOGY

• Including software companies, electronics manufacturers, alternative energy and data centers, the region has over 130 tech companies employing nearly 3,000 people.

• Five dozen software companies call the region home, more often than not locating their headquarter operations here.

• Prineville is a growing data center hub and is home to Meta’s first and largest data center campus, a 4.5 million square foot complex. Central Oregon offers a unique advantage for data centers due to its available infrastructure, affordable industrial land, multiple telecom carriers, desert climate, and globally competitive tax incentives.

#3

FOR 5-YEAR HIGH TECH GDP GROWTH -MILKEN INSTITUTE, 2022

edcoinfo.com - Page 19

Located on the eastern slopes of the Cascade Range, where vast forests give way to the arid high desert, Central Oregon boasts year-round adventure and a rare mix of city amenities and world-famous outdoor recreation. The region offers the slower speed of a small town with access to toprated healthcare and infrastructure to support continued economic growth.

#10

#10 BEST PERFORMING SMALL CITIES & #1 FOUR YEARS IN A ROW

#2 MOST FITNESS FRIENDLY PLACE IN THE U.S.

30+ Golf Courses

Miles and Miles of Trails

Flourishing Arts & Culture Scene

#4 BEST MOUNTAIN TOWNS IN AMERICA

31 Breweries & Counting

300 Days of Sunshine

LIFESTYLE
-MILKEN INSTITUTE, 2022
BEST
BUSINESS -U.S. CHAMBER OF COMMERCE, 2022
LIVE IN
-MONEY, 2019 & LIVABILITY, 2020
SMALL CITIES FOR
TOP 100 BEST PLACES TO
AMERICA
-THRILLIST,
M T. BACHELOR
-AFAR, 2020
2021
AMONG BEST SKI AREAS IN THE U.S.
-SMARTASSET, 2022
Page 20 - Economic Development for Central Oregon

ABOUT EDCO

Founded in 1981, EDCO is a non-profit corporation supported by private and public members and stakeholders. Our mission is to create a balanced and diversified economy with a strong base of middle-class jobs in Central Oregon.

To do this, we focus on helping companies do the following:

MOVE. We guide employers outside the region through the relocation process as a resource for regional data, incentives, talent, site selection, and more.

START. We mentor and advise scalable young companies from concept to exit on issues such as access to capital, critical expertise and business strategy.

GROW. We partner with local traded-sector companies to help them grow and expand.

Central

Central

City

City

City of Prineville

City of Redmond

City of Sisters

Crook County

Deschutes County

First Interstate Bank

Jefferson County

Mid Oregon Credit Union

OSU-Cascades

Pacific Power

PacificSource Health Plans

Schwabe, Williamson & Wyatt

Sensiba San Filippo

U.S. Bank

Additional information available at EDCOINFO.COM

• Upcoming networking events, luncheons, conferences, and more

• EDCO Info Hub: current comprehensive data for Central Oregon

• Stable of Experts: a network of seasoned professionals with a passion for start-ups and small businesses

• Success stories from regional businesses

• Business news on EDCO’s blog

Fiscal Year Companies Jobs (New & Retained) New Capital Investment 2020 - 2021 2018 - 2019 2016 - 2017 2019 - 2020 2017 - 2018 2021 - 2022 Totals 34 40 48 36 31 13 202 451 587 735 774 288 483 3,318 $208.7 million $70.5 million $2.1 billion $67.1 million $199.7 million $1.98 billion $4.63 billion
BendTel
Natural Gas
AmeriTitle
Cascade
Electric Cooperative
Community
Oregon
College
of Bend
of La Pine
City of Madras
Combined Communications
St. Charles Health System
Members EDCO Contact Information Regional Office (Bend) CEO: Jon Stark Director: Don Myll 705 SW Bonnett Way Ste. #1000 Bend, OR 97702 541.388.3236 Redmond Director: Steve Curley 411 SW 9th Street Ste. #203 Redmond, OR 97756 541.923.5223 Prineville/Crook County Director: Kelsey Lucas PO Box 153 Prineville, OR 97754 541.213.3169 Sisters Director: Eric Strobel 520 E Cascade Street Sisters, OR 97759 541.410.8630 Sunriver/La Pine Director: Patricia Lucas 16345 Sixth Street La Pine, OR 97739 248.693.3049 Public Contracts EDCO’S Funding Sources Private Members Earned Revenue Other 36% 30% 21% 16% EDCO’S RESULTS edcoinfo.com - Page 21
Velox Systems EDCO Platinum
EDCOINFO.COM #EDCOINFO @EDCOINFO 705 SW BONNETT WAY SUITE 1000 BEND, OR 97702 541.388.3236

Turn static files into dynamic content formats.

Create a flipbook
Issuu converts static files into: digital portfolios, online yearbooks, online catalogs, digital photo albums and more. Sign up and create your flipbook.