Skip to main content

530 SE 3rd St Lots 181204BC07601 &181204BC07600 Bend - PDP

Page 1


DESCHUTESCOUNTYPROPERTYPROFILEINFORMATION

Parcel#:106288

TaxLot:181204BC07601

Owner:CityOfBend

CoOwner:

Site:530SE3rdSt BendOR97702

Mail:710NWWallSt BendOR97703

LandUse:940-City-Vacant

StdLandUse:9210-City,Municipal,Town,VillageOwned

Legal:BENDPARKLot:17Block:80

Twn/Rng/Sec:T:18SR:12ES:04Q:NWQQ:SW

ASSESSMENT&TAXINFORMATION

MarketTotal:$809,720.00

MarketLand:$809,720.00

MarketImpr:

AssessmentYear:2023

AssessedTotal:$461,940.00

Exemption:

Taxes:

LevyCode:1-128

LevyRate:159868

SALE&LOANINFORMATION

SaleDate:04/18/2022

SaleAmount:$2,040,00000

Document#:15999

DeedType:WarrantyDeed

LoanAmount:

Lender:

LoanType:

InterestType:

TitleCo:AMERITITLE

PROPERTYCHARACTERISTICS

YearBuilt:1962

EffYearBuilt:1982

Bedrooms: Bathrooms: #ofStories: TotalSqFt:6,584SqFt

Floor1SqFt: Floor2SqFt: BasementSqFt: Lotsize:0.39Acres(16,988SqFt)

GarageSqFt: GarageType: AC:

Pool:

HeatSource: Fireplace:

BldgCondition: Neighborhood:4 Lot:17 Block:80

Plat/Subdiv:BendPark

Zoning:CityOfBend-CL-CommercialLimited SchoolDist:1-Bend-LaPineAdministrative Census:1021-001501

Recreation:

SentryDynamics,Inc anditscustomersmakenorepresentations,warrantiesorconditions,expressorimplied,astotheaccuracyorcompletenessofinformationcontainedinthisreport

DESCHUTESCOUNTYPROPERTYPROFILEINFORMATION

Parcel#:106289

TaxLot:181204BC07600

Owner:CityOfBend

CoOwner:

Site: BendOR97702

Mail:710NWWallSt

BendOR97703

LandUse:941-City-Improved StdLandUse:9210-City,Municipal,Town,VillageOwned Legal:BENDPARKLot:21,22Block:80

Twn/Rng/Sec:T:18SR:12ES:04Q:NWQQ:SW

ASSESSMENT&TAXINFORMATION

MarketTotal:$403,940.00

MarketLand:$388,390.00

MarketImpr:$15,550.00

AssessmentYear:2023

AssessedTotal:$156,020.00

Exemption:

Taxes:

LevyCode:1-128

LevyRate:159868

SALE&LOANINFORMATION

SaleDate:04/18/2022

SaleAmount:$2,040,00000 Document#:15999

DeedType:WarrantyDeed

LoanAmount: Lender:

LoanType:

InterestType: TitleCo:AMERITITLE

PROPERTYCHARACTERISTICS

YearBuilt:2000

EffYearBuilt: Bedrooms: Bathrooms: #ofStories: TotalSqFt: Floor1SqFt: Floor2SqFt: BasementSqFt: Lotsize:0.34Acres(14,810SqFt)

GarageSqFt: GarageType:

AC:

Pool:

HeatSource: Fireplace: BldgCondition: Neighborhood:4 Lot:21,22 Block:80 Plat/Subdiv:BendPark Zoning:CityOfBend-CL-CommercialLimited SchoolDist:1-Bend-LaPineAdministrative Census:1021-001501

Recreation:

SentryDynamics,Inc anditscustomersmakenorepresentations,warrantiesorconditions,expressorimplied,astotheaccuracyorcompletenessofinformationcontainedinthisreport

Deschutes County Property Information

Report Date: 12/5/2024 12:52:24 PM

The information and maps presented in this report are provided for your convenience. Every reasonable effort has been made to assure the accuracy of the data and associated maps. Deschutes County makes no warranty, representation or guarantee as to the content, sequence, accuracy, timeliness or completeness of any of the data provided herein. Deschutes County explicitly disclaims any representations and warranties, including, without limitation, the implied warranties of merchantability and fitness for a particular purpose. Deschutes County shall assume no liability for any errors, omissions, or inaccuracies in the information provided regardless of how caused. Deschutes County assumes no liability for any decisions made or actions taken or not taken by the user of this information or data furnished hereunder.

Subdivision:

Warnings, Notations, and Special Assessments

Review of digital records maintained by the Deschutes County Assessor’s Office, Tax Office, Finance Office, and the Community Development Department indicates that there are no special tax, assessment or property development related notations associated with this account. However, independent verification of the presence of other Deschutes County tax, assessment, development, and additional property related considerations is recommended. Confirmation is commonly provided by title companies, real estate agents, developers, engineering and surveying firms, and other parties who are involved in property transactions or property development. In addition, County departments may be contacted directly to discuss the information.

Tax Payment History

Sales History

Land Characteristics

Ownership

Service Providers Please contact districts to confirm.

COUNTY SERVICES DESCHUTES COUNTY (541) 388-6570 1300 NW WALL ST, BEND, OR 97703

SCHOOL DISTRICT BEND - LA PINE SCHOOL DISTRICT (541) 355-1000 520 NW WALL ST, BEND, OR 97703

ELEMENTARY SCHOOL ATTENDANCE AREA JUNIPER ELEMENTARY SCHOOL (541) 355-1800 1300 NE NORTON, BEND, OR 97701

MIDDLE SCHOOL ATTENDANCE AREA PILOT BUTTE MIDDLE SCHOOL (541) 355-7400 1501 NE NEFF RD, BEND, OR 97701

HIGH SCHOOL ATTENDANCE AREA BEND HIGH SCHOOL (541) 355-3700 230 NE 6TH ST , BEND, OR 97701

EDUCATION SERVICE TAX DISTRICT HIGH DESERT EDUCATION SERVICE DISTRICT (541) 693-5600 145 SE SALMON AVE, REDMOND, OR 97756

COLLEGE TAX DISTRICT CENTRAL OREGON COMMUNITY COLLEGE (541) 383-7700 2600 NW COLLEGE WAY, BEND, OR 97703

PARK & RECREATION DISTRICT BEND PARK & RECREATION DISTRICT (541) 389-7275 799 SW COLUMBIA ST, BEND, OR 97702

LIBRARY DISTRICT DESCHUTES PUBLIC LIBRARY (541) 617-7050 601 NW WALL ST, BEND, OR 97703 WATER SERVICE PROVIDER BEND WATER DEPARTMENT (541) 317-3000 62975 BOYD ACRES RD, Bend, OR 97701

LIVESTOCK DISTRICT DESCHUTES COUNTY LIVESTOCK DISTRICT NUMBER 2 (541) 388-6623 1300 NW WALL ST, BEND, OR 97703

GARBAGE & RECYCLING SERVICE CASCADE DISPOSAL (541) 382-6660 1300 SE WILSON AVE, BEND, OR 97702

Development Summary

Permits

Deschutes County Permits

Permit Detail

Building Permit Details

Permit Number:

9-1174

Permit Name: N/A Contractor: 05/22/2009 Application Date: Issue Date: 05/22/2009 Final Date:

N/A

Building Class: Remove dead trees in ROW OK per Keving Ramsey Class of Work: N/A Building Use:

Inspections

No inspection records found.

8-203

Permit Number: FIRE SUPP HONG KONG REST

Permit Name: N/A

Building Permit Details N/A

Inspections

No inspection records found.

2-3977

Permit Number: HONG KONG

Permit Name: N/A

Building Permit Details N/A

Inspections

No inspection records found.

2-1536

Permit Number: HONG KONG

Name:

Building Permit Details N/A

Inspections

No inspection records found.

Building Permit Details

0-3961

KONG

Inspections

No inspection records found.

Electrical Permit Details

Inspections

No inspection records found.

Electrical Permit Details

Inspections

Electrical Permit Details

Service Description:

BRANCH CIRCUIT/NEW, ALTER OR EXTEND 1 CIRCUIT-WITHOUT NEW SERVICE(1)

Inspections

Date Init. Comments

11/14/1995 JCM *FINAL APPROVED

Electrical Permit Details

247-E12421

Permit Number: HODGE MARIE PERS REP

Contractor:

Permit Name: ALL-PHASE ELECTRIC SERVICE INC

Commercial

Building Class: New Construction Class of Work:

Service Description:

Building Use: Linked Permit:

BRANCH CIRCUITS,NEW,ALTER,OR EXTEND 2 TO 10 CIRCUITS(1)

Inspections

Date Init. Comments

02/26/1991 JJD SIGN CIRCUIT APPROVED & FINALED 02/25/1991 JJD CANCELLED

Septic Permit Details

247-S13116

Permit Number: KWOK MING CHU

Permit Name: UNKNOWN

Building Class: New System Class of Work:

Building Use:

Application Date: 02/12/1991 Issue Date: 02/26/1991 Final Date:

02/12/1991

Finaled Status:

Contractor: 10/31/1977 Application Date: Issue Date: 10/31/1978 Final Date: Expired Status:

Tank Material: DEQ Approval Number:

Service Code:

Maximum Trench Depth: Trench Length:

Tank Capacity: Daily Flow Rate: System Type Linked Feasibility Permit:

Inspections

Date Init. Comments

Assessor's Office Supplemental Information

Legal Description:

Maintenance Area: Property Class:

Study Area:

Subdivision: BEND PARK Lot: 17 Block: 80

11/05/2010 DLJ Property ID/Situs Update through Property File Program 06/03/2004 SYS EXPIRED BY THE SYSTEM 000 33 5 940 -- MUNICIPAL OR OTHER EXEMPT

Neighborhood:

STATEMENT OF TAX ACCOUNT

DESCHUTES

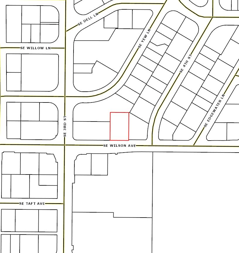
Roa d Map

Deschutes County Property Information

Report Date: 12/5/2024 2:06:56 PM

The information and maps presented in this report are provided for your convenience. Every reasonable effort has been made to assure the accuracy of the data and associated maps. Deschutes County makes no warranty, representation or guarantee as to the content, sequence, accuracy, timeliness or completeness of any of the data provided herein. Deschutes County explicitly disclaims any representations and warranties, including, without limitation, the implied warranties of merchantability and fitness for a particular purpose. Deschutes County shall assume no liability for any errors, omissions, or inaccuracies in the information provided regardless of how caused. Deschutes County assumes no liability for any decisions made or actions taken or not taken by the user of this information or data furnished hereunder.

Warnings, Notations, and Special Assessments

Review of digital records maintained by the Deschutes County Assessor’s Office, Tax Office, Finance Office, and the Community Development Department indicates that there are no special tax, assessment or property development related notations associated with this account. However, independent verification of the presence of other Deschutes County tax, assessment, development, and additional property related considerations is recommended. Confirmation is commonly provided by title companies, real estate agents, developers, engineering and surveying firms, and other parties who are involved in property transactions or property development. In addition, County departments may be contacted directly to discuss the information.

Tax Payment History

Land Characteristics

Ownership

Related Accounts

Related accounts apply to a property that may be on one map and tax lot but due to billing have more than one account. This occurs when a property is in multiple tax code areas. In other cases there may be business personal property or a manufactured home on this property that is not in the same ownership as the land.

No Related Accounts found.

STATEMENT OF TAX ACCOUNT

Roa d Map Map an d Tax l ot: 181 20 4B C07600

This week the median list price for Bend, OR 97702 is $722,450 with the market action index hovering around 35. This is about the same as last month's market action index of 35 Inventory has decreased to 202.

Market Action Index

This answers “How’s the Market?” by comparing rate of sales versus inventory.

Real-Time Market Profile

Median List Price $722,450 Median Price of New Listings $875,000 Per Square Foot $363

Days on Market 94

Slight Seller's Advantage Market Narrative

The market has been cooling off a bit in recent weeks, as more homes are available and demand is less. We’re already seeing prices move lower as a result, though the market is still in the Seller’s zone. Expect this trend to continue especially if the index falls to the Buyer’s zone Watch for a persistent up-turn in Market Action to signal prices rising again.

Market Segments

Slight Seller's Advantage

Each segment below represents approximately 25% of the market ordered by price

Median List Price

Again this week in this zip code we see a downward notch for prices. Pricing has been weak in recent weeks and versus their absolute-high level. At this point, we will be looking for a persistent upward shift in the Market Action Index as a leading indicator for a trough in prices.

Segments

In the quartile market segments, we see the market's price weakness almost across the board. Prices in Quartile 4 have been mixed recently, while the rest of the market is trending downward. Look for a strong, persistent up shift in the Market Action Index as a leading indicator of the trough in the market.

Price Per Square Foot

The market's downward trends are shared across both price and value. People are recently placing less value on homes (you can see the recent declines in price per square foot as evidence.) Look for significant changes in the Market Action Index as a precursor to price and value changes, possibly as inflection points for good investment opportunities.

Inventory has been falling in recent weeks. Note that declining inventory alone does not signal a strengthening market. Look to the Market Action Index and Days on Market trends to gauge whether buyer interest is changing with the available supply.

Market Action Index

The market has been cooling off a bit in recent weeks, as more homes are available and demand is less. We’re already seeing prices move lower as a result, though the market is still in the Seller’s zone. Expect this trend to continue especially if the index falls to the Buyer’s zone. Watch for a persistent up-turn in Market Action to signal prices rising again.

Market Action Segments

Not surprisingly, all segments in this zip code are showing high levels of demand. Watch the quartiles for changes before the whole market changes. Often one end of the market (e.g. the high-end) will weaken before the rest of the market and signal a slowdown for the whole group.

Median Days on Market (DOM)

The properties have been on the market for an average of 83 days. Half of the listings have come newly on the market in the past 64 or so days. Watch the 90-day DOM trend for signals of a changing market.

Segments

It is not uncommon for the higher priced homes in an area to take longer to sell than those in the lower quartiles.

AerialMap

ParcelID:106288

TaxAccount#:181204BC07601

530SE3rdSt, BendOR97702

Thismap/platisbeingfurnishedasanaidinlocatingtheherein describedlandinrelationtoadjoiningstreets,naturalboundariesand otherland,andisnotasurveyofthelanddepictedExcepttotheextent apolicyoftitleinsuranceisexpresslymodifiedbyendorsement,ifany, thecompanydoesnotinsuredimensions,distances,locationof easements,acreageorothermattersshownthereon

AerialMap

ParcelID:106289

TaxAccount#:181204BC07600

BendOR97702

Thismap/platisbeingfurnishedasanaidinlocatingtheherein describedlandinrelationtoadjoiningstreets,naturalboundariesand otherland,andisnotasurveyofthelanddepictedExcepttotheextent apolicyoftitleinsuranceisexpresslymodifiedbyendorsement,ifany, thecompanydoesnotinsuredimensions,distances,locationof easements,acreageorothermattersshownthereon

AssessorMap

ParcelID:106288

TaxAccount#:181204BC07601

530SE3rdSt, BendOR97702

Thismap/platisbeingfurnishedasanaidinlocatingtheherein describedlandinrelationtoadjoiningstreets,naturalboundariesand otherland,andisnotasurveyofthelanddepictedExcepttotheextent apolicyoftitleinsuranceisexpresslymodifiedbyendorsement,ifany, thecompanydoesnotinsuredimensions,distances,locationof easements,acreageorothermattersshownthereon

AssessorMap

ParcelID:106289

TaxAccount#:181204BC07600

BendOR97702

Thismap/platisbeingfurnishedasanaidinlocatingtheherein describedlandinrelationtoadjoiningstreets,naturalboundariesand otherland,andisnotasurveyofthelanddepictedExcepttotheextent apolicyoftitleinsuranceisexpresslymodifiedbyendorsement,ifany, thecompanydoesnotinsuredimensions,distances,locationof easements,acreageorothermattersshownthereon

ParcelID:106288

TaxAccount#:181204BC07601

530SE3rdSt, BendOR97702

Thismap/platisbeingfurnishedasanaidinlocatingtheherein describedlandinrelationtoadjoiningstreets,naturalboundariesand otherland,andisnotasurveyofthelanddepictedExcepttotheextent apolicyoftitleinsuranceisexpresslymodifiedbyendorsement,ifany, thecompanydoesnotinsuredimensions,distances,locationof easements,acreageorothermattersshownthereon

FloodMap

ParcelID:106288

TaxAccount#:181204BC07601

530SE3rdSt, BendOR97702

Thismap/platisbeingfurnishedasanaidinlocatingtheherein describedlandinrelationtoadjoiningstreets,naturalboundariesand otherland,andisnotasurveyofthelanddepictedExcepttotheextent apolicyoftitleinsuranceisexpresslymodifiedbyendorsement,ifany, thecompanydoesnotinsuredimensions,distances,locationof easements,acreageorothermattersshownthereon

FloodMap

ParcelID:106289

TaxAccount#:181204BC07600

BendOR97702

Thismap/platisbeingfurnishedasanaidinlocatingtheherein describedlandinrelationtoadjoiningstreets,naturalboundariesand otherland,andisnotasurveyofthelanddepictedExcepttotheextent apolicyoftitleinsuranceisexpresslymodifiedbyendorsement,ifany, thecompanydoesnotinsuredimensions,distances,locationof easements,acreageorothermattersshownthereon

AerialMap

ParcelID:106288

TaxAccount#:181204BC07601

530SE3rdSt, BendOR97702

Thismap/platisbeingfurnishedasanaidinlocatingtheherein describedlandinrelationtoadjoiningstreets,naturalboundariesand otherland,andisnotasurveyofthelanddepictedExcepttotheextent apolicyoftitleinsuranceisexpresslymodifiedbyendorsement,ifany, thecompanydoesnotinsuredimensions,distances,locationof easements,acreageorothermattersshownthereon

AerialMap

ParcelID:106289

TaxAccount#:181204BC07600

BendOR97702

Thismap/platisbeingfurnishedasanaidinlocatingtheherein describedlandinrelationtoadjoiningstreets,naturalboundariesand otherland,andisnotasurveyofthelanddepictedExcepttotheextent apolicyoftitleinsuranceisexpresslymodifiedbyendorsement,ifany, thecompanydoesnotinsuredimensions,distances,locationof easements,acreageorothermattersshownthereon

ParcelID:106288

TaxAccount#:181204BC07601

530SE3rdSt, BendOR97702

Thismap/platisbeingfurnishedasanaidinlocatingtheherein describedlandinrelationtoadjoiningstreets,naturalboundariesand otherland,andisnotasurveyofthelanddepictedExcepttotheextent apolicyoftitleinsuranceisexpresslymodifiedbyendorsement,ifany, thecompanydoesnotinsuredimensions,distances,locationof easements,acreageorothermattersshownthereon

ParcelID:106289

TaxAccount#:181204BC07600

BendOR97702

Thismap/platisbeingfurnishedasanaidinlocatingtheherein describedlandinrelationtoadjoiningstreets,naturalboundariesand otherland,andisnotasurveyofthelanddepictedExcepttotheextent apolicyoftitleinsuranceisexpresslymodifiedbyendorsement,ifany, thecompanydoesnotinsuredimensions,distances,locationof easements,acreageorothermattersshownthereon

StreetMap

ParcelID:106288

TaxAccount#:181204BC07601

530SE3rdSt, BendOR97702

Thismap/platisbeingfurnishedasanaidinlocatingtheherein describedlandinrelationtoadjoiningstreets,naturalboundariesand otherland,andisnotasurveyofthelanddepictedExcepttotheextent apolicyoftitleinsuranceisexpresslymodifiedbyendorsement,ifany, thecompanydoesnotinsuredimensions,distances,locationof easements,acreageorothermattersshownthereon

StreetMap

ParcelID:106289

TaxAccount#:181204BC07600

BendOR97702

Thismap/platisbeingfurnishedasanaidinlocatingtheherein describedlandinrelationtoadjoiningstreets,naturalboundariesand otherland,andisnotasurveyofthelanddepictedExcepttotheextent apolicyoftitleinsuranceisexpresslymodifiedbyendorsement,ifany, thecompanydoesnotinsuredimensions,distances,locationof easements,acreageorothermattersshownthereon

SubdivisionMap

ParcelID:106288

TaxAccount#:181204BC07601

530SE3rdSt, BendOR97702

Thismap/platisbeingfurnishedasanaidinlocatingtheherein describedlandinrelationtoadjoiningstreets,naturalboundariesand otherland,andisnotasurveyofthelanddepictedExcepttotheextent apolicyoftitleinsuranceisexpresslymodifiedbyendorsement,ifany, thecompanydoesnotinsuredimensions,distances,locationof easements,acreageorothermattersshownthereon

SubdivisionMap

ParcelID:106289

TaxAccount#:181204BC07600

BendOR97702

Thismap/platisbeingfurnishedasanaidinlocatingtheherein describedlandinrelationtoadjoiningstreets,naturalboundariesand otherland,andisnotasurveyofthelanddepictedExcepttotheextent apolicyoftitleinsuranceisexpresslymodifiedbyendorsement,ifany, thecompanydoesnotinsuredimensions,distances,locationof easements,acreageorothermattersshownthereon

ParcelID:106288

TaxAccount#:181204BC07601

530SE3rdSt, BendOR97702

Thismap/platisbeingfurnishedasanaidinlocatingtheherein describedlandinrelationtoadjoiningstreets,naturalboundariesand otherland,andisnotasurveyofthelanddepictedExcepttotheextent apolicyoftitleinsuranceisexpresslymodifiedbyendorsement,ifany, thecompanydoesnotinsuredimensions,distances,locationof easements,acreageorothermattersshownthereon

ParcelID:106289

TaxAccount#:181204BC07600

BendOR97702

Thismap/platisbeingfurnishedasanaidinlocatingtheherein describedlandinrelationtoadjoiningstreets,naturalboundariesand otherland,andisnotasurveyofthelanddepictedExcepttotheextent apolicyoftitleinsuranceisexpresslymodifiedbyendorsement,ifany, thecompanydoesnotinsuredimensions,distances,locationof easements,acreageorothermattersshownthereon

ZoningMap

ParcelID:106288

TaxAccount#:181204BC07601

530SE3rdSt, BendOR97702

Thismap/platisbeingfurnishedasanaidinlocatingtheherein describedlandinrelationtoadjoiningstreets,naturalboundariesand otherland,andisnotasurveyofthelanddepictedExcepttotheextent apolicyoftitleinsuranceisexpresslymodifiedbyendorsement,ifany, thecompanydoesnotinsuredimensions,distances,locationof easements,acreageorothermattersshownthereon

ZoningMap

ParcelID:106289

TaxAccount#:181204BC07600

BendOR97702

Thismap/platisbeingfurnishedasanaidinlocatingtheherein describedlandinrelationtoadjoiningstreets,naturalboundariesand otherland,andisnotasurveyofthelanddepictedExcepttotheextent apolicyoftitleinsuranceisexpresslymodifiedbyendorsement,ifany, thecompanydoesnotinsuredimensions,distances,locationof easements,acreageorothermattersshownthereon

Covenants, Conditions and Restrictions

No CC&R’s only Subdivision Plat Map Click the Hyperlink on the next page to view Electronically

CC&R Hard CopiesAvailable upon Request

Click on hyperlink below to view CC&R’s https://issuu.com/infodeschutestitle/docs/bend_park_recorded_plat?fr=xKAE9_zU1NQ

BEND DEVELOPMENT CODE

The contents of can be found here:

https://bend.municipal.codes/BDC/2.1

DESCHUTES COUNTY CODE

https://deschutescounty.municipalcodeonline.com/book?type=ordinan ces#name=TITLE_18_COUNTY_ZONING

ACS Population Summary

530 SE 3rd St, Bend, Oregon, 97702

Ring: 1 mile radius

AGE 3+ YEARS BY SCHOOL ENROLLMENT

ACS Population Summary

530 SE 3rd St, Bend, Oregon, 97702

Ring: 1 mile radius

HOUSEHOLDS

HOUSEHOLDS

ACS Population Summary

530 SE 3rd St, Bend, Oregon, 97702

Ring: 1 mile radius

POPULATION AGE 5+ YEARS BY LANGUAGE SPOKEN AT HOME AND ABILITY TO SPEAK ENGLISH

5 to 17 years

18 to 64 years

ACS Population Summary

530 SE 3rd St, Bend, Oregon, 97702

Ring: 1 mile radius

WORKERS AGE 16+ YEARS BY PLACE OF WORK

ACS Population Summary

530 SE 3rd St, Bend, Oregon, 97702

Ring: 1 mile radius

WORKERS AGE 16+ YEARS BY MEANS OF TRANSPORTATION TO

ACS Population Summary

530 SE 3rd St, Bend, Oregon, 97702

Ring: 1 mile radius

ACS Population Summary

530 SE 3rd St, Bend, Oregon, 97702

Ring: 1 mile radius

BY RATIO OF INCOME TO POVERTY

CIVILIAN POPULATION AGE 18 OR OLDER BY VETERAN STATUS

CIVILIAN VETERANS AGE 18 OR OLDER BY PERIOD OF

STATUS

Source: U.S. Census Bureau, 2018-2022 American Community Survey

ACS Population Summary

530 SE 3rd St, Bend, Oregon, 97702

Ring: 1 mile radius

Data Note: N/A means not available. Population by Ratio of Income to Poverty Level represents persons for whom poverty status is determined. Household income represents income in 2022, adjusted for inflation.

2018-2022 ACS Estimate: The American Community Survey (ACS) replaces census sample data. Esri is releasing the 2018-2022 ACS estimates, five-year period data collected monthly from January 1, 2018 through December 31, 2022. Although the ACS includes many of the subjects previously covered by the decennial census sample, there are significant differences between the two surveys including fundamental differences in survey design and residency rules.

Margin of error (MOE): The MOE is a measure of the variability of the estimate due to sampling error. MOEs enable the data user to measure the range of uncertainty for each estimate with 90 percent confidence. The range of uncertainty is called the confidence interval, and it is calculated by taking the estimate +/- the MOE. For example, if the ACS reports an estimate of 100 with an MOE of +/- 20, then you can be 90 percent certain the value for the whole population falls between 80 and 120.

Reliability: These symbols represent threshold values that Esri has established from the Coefficients of Variation (CV) to designate the usability of the estimates. The CV measures the amount of sampling error relative to the size of the estimate, expressed as a percentage.

High Reliability: Small CVs (less than or equal to 12 percent) are flagged green to indicate that the sampling error is small relative to the estimate and the estimate is reasonably reliable.

Medium Reliability: Estimates with CVs between 12 and 40 are flagged yellow-use with caution.

Low Reliability: Large CVs (over 40 percent) are flagged red to indicate that the sampling error is large relative to the estimate. The estimate is considered very unreliable.

Source: U.S. Census Bureau, 2018-2022 American Community Survey Reliability: high medium low December 05, 2024

ACS Population Summary

530 SE 3rd St, Bend, Oregon, 97702

Ring: 3 mile radius

AGE 3+ YEARS BY SCHOOL ENROLLMENT

ACS Population Summary

530 SE 3rd St, Bend, Oregon, 97702

Ring: 3 mile radius

HOUSEHOLDS BY PRESENCE OF PEOPLE UNDER 18 YEARS BY

HOUSEHOLDS BY PRESENCE OF PEOPLE 65 YEARS AND OVER, HOUSEHOLD SIZE AND HOUSEHOLD TYPE

HOUSEHOLD TYPE BY RELATIVES AND NONRELATIVES FOR POPULATION IN HOUSEHOLDS

Source: U.S. Census Bureau, 2018-2022 American Community Survey

ACS Population Summary

530 SE 3rd St, Bend, Oregon, 97702

Ring: 3 mile radius

POPULATION AGE 5+ YEARS BY LANGUAGE SPOKEN AT HOME AND ABILITY TO SPEAK ENGLISH

5 to 17 years

18 to 64 years

65 years and over

ACS Population Summary

530 SE 3rd St, Bend, Oregon, 97702

Ring: 3 mile radius

WORKERS AGE 16+ YEARS BY PLACE OF WORK

by

ACS Population Summary

530 SE 3rd St, Bend, Oregon, 97702

Ring: 3 mile radius

WORKERS AGE 16+ YEARS BY MEANS OF TRANSPORTATION

Source:

ACS Population Summary

530 SE 3rd St, Bend, Oregon, 97702

Ring: 3 mile radius

ACS Population Summary

530 SE 3rd St, Bend, Oregon, 97702

Ring: 3 mile radius

BY RATIO OF INCOME TO POVERTY

CIVILIAN POPULATION AGE 18 OR OLDER BY VETERAN STATUS

CIVILIAN VETERANS AGE 18 OR OLDER BY PERIOD OF MILITARY SERVICE

HOUSEHOLDS BY POVERTY STATUS

Source: U.S. Census Bureau, 2018-2022 American Community Survey

ACS Population Summary

530 SE 3rd St, Bend, Oregon, 97702

Ring: 3 mile radius

Data Note: N/A means not available. Population by Ratio of Income to Poverty Level represents persons for whom poverty status is determined. Household income represents income in 2022, adjusted for inflation.

2018-2022 ACS Estimate: The American Community Survey (ACS) replaces census sample data. Esri is releasing the 2018-2022 ACS estimates, five-year period data collected monthly from January 1, 2018 through December 31, 2022. Although the ACS includes many of the subjects previously covered by the decennial census sample, there are significant differences between the two surveys including fundamental differences in survey design and residency rules.

Margin of error (MOE): The MOE is a measure of the variability of the estimate due to sampling error. MOEs enable the data user to measure the range of uncertainty for each estimate with 90 percent confidence. The range of uncertainty is called the confidence interval, and it is calculated by taking the estimate +/- the MOE. For example, if the ACS reports an estimate of 100 with an MOE of +/- 20, then you can be 90 percent certain the value for the whole population falls between 80 and 120.

Reliability: These symbols represent threshold values that Esri has established from the Coefficients of Variation (CV) to designate the usability of the estimates. The CV measures the amount of sampling error relative to the size of the estimate, expressed as a percentage.

High Reliability: Small CVs (less than or equal to 12 percent) are flagged green to indicate that the sampling error is small relative to the estimate and the estimate is reasonably reliable.

Medium Reliability: Estimates with CVs between 12 and 40 are flagged yellow-use with caution.

Low Reliability: Large CVs (over 40 percent) are flagged red to indicate that the sampling error is large relative to the estimate. The estimate is considered very unreliable.

Source: U.S. Census Bureau, 2018-2022 American Community Survey

Reliability: high medium low December 05, 2024

ACS Population Summary

530 SE 3rd St, Bend, Oregon, 97702

Ring: 5 mile radius

POPULATION AGE 3+ YEARS BY SCHOOL ENROLLMENT

ACS Population Summary

530 SE 3rd St, Bend, Oregon, 97702

Ring: 5 mile radius

BY TYPE AND SIZE

HOUSEHOLDS BY PRESENCE OF PEOPLE UNDER 18 YEARS BY

ACS Population Summary

530 SE 3rd St, Bend, Oregon, 97702

Ring: 5 mile radius

POPULATION AGE 5+ YEARS BY LANGUAGE SPOKEN AT HOME AND ABILITY TO SPEAK ENGLISH

5 to 17 years

18 to 64 years

ACS Population Summary

530 SE 3rd St, Bend, Oregon, 97702

Ring: 5 mile radius

WORKERS AGE 16+ YEARS BY PLACE OF WORK

ACS Population Summary

530 SE 3rd St, Bend, Oregon, 97702

Ring: 5 mile radius

WORKERS AGE 16+ YEARS BY MEANS OF TRANSPORTATION TO WORK

FEMALES AGE 20-64 YEARS BY AGE OF OWN CHILDREN AND EMPLOYMENT STATUS

ACS Population Summary

530 SE 3rd St, Bend, Oregon, 97702

Ring: 5 mile radius

ACS Population Summary

530 SE 3rd St, Bend, Oregon, 97702

Ring: 5 mile radius

BY RATIO OF INCOME TO POVERTY

CIVILIAN POPULATION AGE 18 OR OLDER BY VETERAN STATUS

CIVILIAN VETERANS AGE 18 OR OLDER BY PERIOD OF MILITARY SERVICE

HOUSEHOLDS BY POVERTY STATUS

Source: U.S. Census Bureau, 2018-2022

ACS Population Summary

530 SE 3rd St, Bend, Oregon, 97702

Ring: 5 mile radius

by

Data Note: N/A means not available. Population by Ratio of Income to Poverty Level represents persons for whom poverty status is determined. Household income represents income in 2022, adjusted for inflation.

2018-2022 ACS Estimate: The American Community Survey (ACS) replaces census sample data. Esri is releasing the 2018-2022 ACS estimates, five-year period data collected monthly from January 1, 2018 through December 31, 2022. Although the ACS includes many of the subjects previously covered by the decennial census sample, there are significant differences between the two surveys including fundamental differences in survey design and residency rules.

Margin of error (MOE): The MOE is a measure of the variability of the estimate due to sampling error. MOEs enable the data user to measure the range of uncertainty for each estimate with 90 percent confidence. The range of uncertainty is called the confidence interval, and it is calculated by taking the estimate +/- the MOE. For example, if the ACS reports an estimate of 100 with an MOE of +/- 20, then you can be 90 percent certain the value for the whole population falls between 80 and 120.

Reliability: These symbols represent threshold values that Esri has established from the Coefficients of Variation (CV) to designate the usability of the estimates. The CV measures the amount of sampling error relative to the size of the estimate, expressed as a percentage.

High Reliability: Small CVs (less than or equal to 12 percent) are flagged green to indicate that the sampling error is small relative to the estimate and the estimate is reasonably reliable.

Medium Reliability: Estimates with CVs between 12 and 40 are flagged yellow-use with caution.

Low Reliability: Large CVs (over 40 percent) are flagged red to indicate that the sampling error is large relative to the estimate. The estimate is considered very unreliable.

Source: U.S. Census Bureau, 2018-2022 American Community Survey Reliability: high medium low December 05, 2024

Market Profile

Data Note: Household population includes persons not residing in group quarters. Average Household Size is the household population divided by total households. Persons in families include the householder and persons related to the householder by birth, marriage, or adoption. Per Capita Income represents the income received by all persons aged 15 years and over divided by the total population.

Source: Esri forecasts for 2024 and 2029. U.S. Census Bureau 2000 and 2010 decennial Census data converted by Esri into 2020 geography. December 05, 2024

2024 Households by Income

Market Profile

530 SE 3rd St, Bend, Oregon, 97702

Rings: 1, 3, 5 mile radii

2029 Owner Occupied Housing Units by Value

$1,000,000 - $1,499,999

Data Note: Income represents the preceding year, expressed in current dollars. Household income includes wage and salary earnings, interest dividends, net rents, pensions, SSI and welfare payments, child support, and alimony.

Source: Esri forecasts for 2024 and 2029. U.S. Census Bureau 2000 and 2010 decennial Census data converted by Esri into 2020 geography. December 05, 2024

Market Profile

Source: Esri forecasts for 2024 and 2029. U.S. Census Bureau 2000 and 2010 decennial Census data converted by Esri into 2020 geography. December

Market Profile

530 SE 3rd St, Bend, Oregon, 97702

Rings: 1, 3, 5 mile radii

Data Note: Persons of Hispanic Origin may be of any race. The Diversity Index measures the probability that two people from the same area will be from different race/ethnic groups.

Source: Esri forecasts for 2024 and 2029. U.S. Census Bureau 2000 and 2010 decennial Census data converted by Esri into 2020 geography. December 05, 2024

Market Profile

530 SE 3rd St, Bend, Oregon, 97702

Rings: 1, 3, 5 mile radii

2020 Population by Relationship and Household Type

Source: Esri forecasts for 2024 and 2029. U.S. Census Bureau 2000 and 2010 decennial

Market Profile

530 SE 3rd St, Bend, Oregon, 97702

Source: Esri forecasts for 2024 and 2029. U.S. Census Bureau 2000 and 2010 decennial

Market Profile

530 SE 3rd St, Bend, Oregon, 97702

Data Note: Households with children include any households with people under age 18, related or not. Multigenerational households are families with 3 or more parent-child relationships. Unmarried partner households are usually classified as nonfamily households unless there is another member of the household related to the householder. Multigenerational and unmarried partner households are reported only to the tract level. Esri estimated block group data, which is used to estimate polygons or non-standard geography.

Source: Esri forecasts for 2024 and 2029. U.S. Census Bureau 2000 and 2010 decennial Census data converted by Esri into 2020 geography. December 05, 2024

Data Note: Consumer spending shows the amount spent on a variety of goods and services by households that reside in the area. Expenditures are shown by broad budget categories that are not mutually exclusive. Consumer spending does not equal business revenue. Total and Average Amount Spent Per Household represent annual figures. The Spending Potential Index represents the amount spent in the area relative to a national average of 100.

Source: Consumer Spending data are derived from the 2019 and 2020 Consumer Expenditure Surveys, Bureau of Labor Statistics. Esri. Source: Esri forecasts for 2024 and 2029. U.S. Census Bureau 2000 and 2010 decennial Census data converted by Esri into 2020 geography. December 05, 2024

Traffic Count Map

530 SE 3rd St, Bend, Oregon, 97702

Source: ©2024 Kalibrate Technologies (Q3 2024). December 05, 2024

Chapter 2.2COMMERCIAL ZONING DISTRICTS (CB, CC, CL, CG)

https://bend.municipal.codes/BDC/2.2

Sections:

 2.2.100Purpose and Applicability.

 2.2.200Zoning District Locations and Characteristics.

 2.2.300Permitted and Conditional Uses.

 2.2.400Development Standards.

 2.2.500Site Layout and Building Orientation.

 2.2.600Commercial Design Review Standards.

 2.2.700Pedestrian Amenities.

 2.2.800Development and Design Standards for the Central Business Zoning District.

2.2.100Purpose and Applicability.

This chapter applies to all development in the Central Business District (CB), Convenience Commercial District (CC), Limited Commercial District (CL) and the General Commercial District (CG). Collectively, these districts are the City’s Commercial Zoning Districts. The purpose of these zoning districts is to:

•Allow a mixture of complementary land uses that may include housing, retail, offices, commercial services, and civic uses, to create economic and social vitality and to reduce vehicle miles traveled;

•Develop commercial and mixed-use areas that are safe, comfortable and attractive to pedestrians;

•Provide flexibility in the location and design of new developments and redevelopment to anticipate changes in the market;

•Reinforce streets as public places that encourage pedestrian and bicycle travel;

•Provide roadway and pedestrian connections to residential areas;

•Provide transitions between high traffic streets and neighborhoods;

•Encourage efficient land use by facilitating compact, high density development and minimizing the amount of land that is needed for surface parking;

•Facilitate development (land use mix, density and design) that supports public transit, where applicable;

•Provide appropriate locations and design standards for automobile- and truck-dependent uses;

•Provide both formal and informal community gathering places;

•Maintain a distinct storefront character that identifies the Central Business District;

•Connect the Convenience Commercial District to neighborhoods and other employment areas; and

•Provide visitor accommodations and tourism amenities. [Ord. NS-2195, 2013; Ord. NS-2016, 2006]

2.2.200Zoning District Locations and Characteristics.

Zone District Locations and Characteristics

Zone District

Central Business District (CB)

Convenience Commercial District (CC)

Limited Commercial District (CL)

General Commercial District (CG)

Location and Characteristics

The Central Business District encompasses the historic downtown and central business district that has commercial and/or mixed-use development with a storefront character.

The Convenience Commercial District is adjacent and connected to the Residential District(s) it is intended to serve. Convenience Commercial uses are larger in scale and area than neighborhood commercial uses and provide for frequent shopping and service needs of nearby residents. The zone is intended to provide locations for a wide range of small and medium sized businesses and services as a convenience to the neighboring residential areas. New convenience commercial nodes shall develop as commercial centers rather than a commercial strip and be limited in size up to 5 acres.

The Limited Commercial District provides for a wide range of retail, service, and tourist commercial uses in the community along highways or in new commercial centers.

The General Commercial District provides a broad mix of commercial uses that have large site requirements, are oriented to the higher classification roadways and provide services to the entire City and surrounding area.

[Ord. NS-2195, 2013; Ord. NS-2016, 2006]

2.2.300Permitted and Conditional Uses.

The land uses listed in Table 2.2.300 are allowed in the Commercial Districts, subject to the provisions of this code. Uses that are listed in Table 2.2.300 and land uses that are similar are permitted or conditionally allowed. The land uses identified with a “C” in Table 2.2.300 require

Conditional Use Permit approval prior to development, in accordance with BDC Chapter 4.4.

Table 2.2.300 – Permitted and Conditional Uses

Residential

Existing Residential Use

*New residential use as part of a mixed-use development

*Micro-units as part of a mixed-use development. See BDC 3.8.200.

*Home business (Class A/Class B/Class C)

Commercial

Retail Sales and Service (non-automobile dependent/oriented)

– building footprint less than 50,000 square feet

– building footprint greater than 50,000 square feet

Retail Sales and Service (*automobile dependent)

Retail Sales and Service (*automobile oriented)

Restaurants/Food and Beverage Services – with *drive-through

Restaurants/Food and Beverage Services

without drive-through

and Clinics

Office

Convention Center/Meeting Rooms

P

P P P

P P P

Lodging (e.g., hotels, motels, *bed and breakfast inns, *short-term rentals, hostels) P P P P

Commercial and Public Parking

Commercial Storage

– enclosed in building and on an upper story

– not enclosed in building

– enclosed in building on ground floor (i.e., mini-storage)

Entertainment and Recreation

– enclosed in building (e.g., theater, fitness facility)

– not enclosed (e.g., amusement, outdoor arena)

Day Care

Redemption Center

Trailer Park/Campground

Mortuary

N C P

P P P

N P P

Wholesale Sales (more than 75% of sales are wholesale)

Veterinary Clinic (small animal)

*Mixed-use (residential with commercial/civic/industrial)

Mixed-use developments shall be subject to the use limitations prescribed for the respective individual uses

*Medical Marijuana Dispensary and Marijuana Retailer

– building footprint 50,000 square feet or less

– building footprint greater than 50,000 square feet

*Marijuana Wholesale (more than 75% of sales are wholesale)

*Marijuana Testing, Research and Development Facilities

Public and Institutional

Government – point of service intended to serve the entire City (e.g., City Hall, main library, main post office, main Department of Motor Vehicles service center)

Government – branch service intended to serve a portion of the City

Parks and Open Space

Schools

Institution of Higher Education P N P P

*Clubs and Places of Worship

*Utilities (above ground)

*Mobility hub

Industrial

*Manufacturing and Production – greater than 5,000 sq. ft.

less than 5,000 sq. ft. with retail outlet

Transportation, Freight and Distribution

Industrial Service (e.g., cleaning, repair)

Manufactured Home Sales

Lumber/Building Supplies

*Hydroelectric Facilities

*Marijuana Processing of Cannabinoid Concentrates and Cannabinoid Products Not Including Processing of Cannabinoid Extracts

– greater than 5,000 sq. ft.

– 5,000 sq. ft. or less with retail outlet

Miscellaneous Uses

*Shelters

*Small Hydroelectric Facility

Wireless and Broadcast Communication Facilities See BDC Chapter 3.7

Key to Permitted Uses

P = Permitted N = Not Permitted C = Conditional Use

*Special standards for certain uses subject to BDC Chapter 3.6

[Ord. NS-2463, 2023; Ord. NS-2443, 2022; Ord. NS-2423, 2021; Ord. NS-2404, 2021; Ord. NS2389, 2020; Ord. NS-2289, 2017; Ord. NS-2265, 2016; Ord. NS-2264, 2016; Ord. NS-2256, 2015; Ord. NS-2251, 2015; Ord. NS-2240, 2015; Ord. NS-2195, 2013; Ord. NS-2158, 2011; Ord. NS-2155, 2011; Ord. NS-2107, 2008; Ord. NS-2016, 2006]

2.2.400Development Standards.

The following table provides the general numerical development standards within the Commercial Districts. Additional standards are contained in subsections (A), (B) and (C) of this section.

Table 2.2.400. Commercial Zoning District Development Standards

Minimum Front Yard Setback, see note (1) below

Maximum Front Yard Setback, see note (1) below and subsection (A) of this section

– From street with onstreet parking

– From street without on-street parking

Minimum Rear Yard Setbacks

Minimum Side Yard Setbacks

Maximum Lot Coverage

Maximum Building Height 35 to 70 feet 35 feet, except within 100 feet of the Deschutes River where 55 feet, except within 100 feet of the Deschutes River where 55 feet, except within 100 feet of the Deschutes River where

Subject to the provisions of BDC 2.2.800 height may be further limited subject to WOZ Review height may be further limited subject to WOZ Review height may be further limited subject to WOZ Review

Minimum Floor Area Ratio Floor Area Ratio of 2:1

Maximum Building Footprint, see note (2) below

None

None None

None 50,000 sq. ft. None None

1Subject to the special setback standards of BDC Chapter 3.4 and the site layout and building orientation standards of BDC 2.2.500

2See subsection (C) of this section.

A. Setbacks. In some of the Commercial Districts, buildings are placed close to the street to create a vibrant pedestrian environment, to slow traffic, provide a storefront character to the street, support future transit service, and encourage walking. The setback standards are flexible to encourage public spaces between sidewalks and building entrances (e.g., extra-wide sidewalks, plazas, squares, outdoor dining areas, and pocket parks). The standards also encourage the formation of solid blocks of commercial and mixed-use buildings for walkable Commercial Districts.

1. Applicability. Except as modified by this section and BDC 2.2.500, Site Layout and Building Orientation, the setback standards contained in Table 2.2.400 apply to all new construction and expansion of existing buildings within the Commercial Districts.

2. Maximum Setback Calculation. Where more than one building is proposed on a site, conformance with the maximum setback standard is achieved when no less than 40 percent of the site’s frontage on a public or private street is occupied by one or more buildings that conform with the building setback and orientation standards of this chapter. The maximum setback standard may be increased as necessary when an approved usable public space with pedestrian amenities (e.g., extra-wide sidewalk, plaza, pocket park, outdoor dining area or a public square with seating) is provided between the building and front property line. (See also BDC 2.2.600, Commercial Design Review Standards, and 2.2.700, Pedestrian Amenities, for related building entrance standards.)

3. Front Yard Setbacks.

a. General Standards. See Table 2.2.400, Commercial Zoning District Development Standards.

b. Multiple Frontage and Corner Lots. For buildings on sites with more than one street frontage or through lots, the minimum front yard setback standards in Table 2.2.400 shall be applied to all street frontages. However, the maximum setback standard shall be applied to only one of the frontages. Where the abutting streets are of different classifications, the maximum setback standard shall be applied to the higher classification of street.

c. Exception to Front Yard Setbacks. This exception applies to all Commercial Zones except the CB Zone.

i. In the CL, CC and CG Zones, when the street fronting the development does not allow onstreet parking, the maximum front yard setback of 80 feet shall apply.

ii. Where streets with insufficient right-of-way abut the site, special setbacks may apply in conformance with BDC 3.4.200(J), Special Setbacks.

4. Rear Yard Setbacks.

a. There is no minimum rear yard setback, except that buildings shall conform to the clear vision standards in BDC 3.1.500

b. Building transition standards in conformance with this subsection apply when abutting a Residential Zone.

c. The applicable fire and building codes for attached structures, firewalls, and related requirements apply.

5. Side Yard Setbacks.

a. There is no minimum side yard setback, except that buildings shall conform to the clear vision standards in BDC 3.1.500.

b. Building transition standards in conformance with this subsection apply when abutting a Residential Zone.

c. The applicable fire and building codes for attached structures, firewalls, and related requirements apply.

6. Transition Standards.

a. Nonresidential buildings abutting a Residential Zone shall be set back a minimum of 10 feet from the Residential Zone. The minimum setback distance for any portion of a commercial, mixed-use, or nonresidential building exceeding 25 feet in height shall increase one foot for each additional foot of building height over 25 feet.

b. A landscape buffer of no less than five feet is required along the abutting Residential Zone. The landscape buffer, to the extent practical, shall provide both a visual and auditory buffer that includes trees, shrubs and ground cover.

c. When uses other than a building (i.e., parking, driveway, storage, loading) are built to the edge of the required minimum setback, buffering in addition to the minimum landscaping (i.e., fencing or wall) may be required as a condition of Site Plan Review approval to mitigate the impacts on the abutting Residential Zone.

B. Height. All buildings in the Commercial Districts shall comply with the height standards contained in Table 2.2.400 unless excepted below or in compliance with a variance approval.

1. Residential Exception. The maximum height may be increased by 10 feet above the maximum allowed height when residential uses are provided above the ground floor (“vertical mixed use”), except for buildings along the west side of Brooks Street where the maximum building height is 35 feet regardless of use. The building height increase for residential uses applies only if the top floor is residential and does not apply to buildings that have variance approval to exceed the permitted height.

C. Convenience Commercial Development Standards. The purpose of this subsection is to provide special development standards for the development of new uses within the CC Zone. The zone is intended to provide locations for a wide range of small and medium sized businesses and services as a convenience to surrounding residents. The CC Zone has the following limitation on uses:

1. Maximum Building Size. The maximum building size is 50,000 square feet per building, unless a larger area is approved through a conditional use permit. [Ord. NS-2463, 2023; Ord. NS-2271, 2016; Ord. NS-2195, 2013; Ord. NS-2016, 2006]

2.2.500Site Layout and Building Orientation.

Figure 2.2.400 – Building Height Diagram (Residential Exception)

A. Purpose. These site layout and building orientation standards are intended to promote a walkable, storefront character in certain areas of the City, and to facilitate walking, bicycling, and transit use in the Commercial Districts, by forming short blocks.

B. Applicability. This section applies to new land divisions and developments that are subject to site plan review in any of the Commercial Districts, Mixed Employment District and Professional Office District.

C. Exterior Site Layout. In addition to meeting the access, circulation and lot design standards of BDC Chapter 3.1, new commercial developments must comply with the following standards:

1. Usable pedestrian space must be provided and include the following:

a. A plaza or extra-wide pathway/sidewalk near one or more building entrances.

b. Street trees or planters, and either space for outdoor seating or canopies or awnings along internal streets or drives.

2. Where multiple-building development is contemplated on parcels or lots 10 acres or greater in size, at least one public street must be designed to meet the specifications of a local street and be designed as a “shopping street.” A “shopping street” must include the following elements:

•Buildings placed at the sidewalk along the shopping street;

•Wide sidewalks (e.g., eight to 15 feet wide);

•On-street parking;

•Street trees in tree wells;

•Pedestrian-scale lighting;

•Weather protection and similar pedestrian amenities.

2.2.500.A – “Shopping Street” (Typical)

Figure

D. Building Orientation Standards. Developments within all Commercial Districts must be oriented to a street in compliance with at least one of the following:

1. Buildings must have an entrance(s) visible or oriented to (facing) a street. Building entrances may include entrances to individual units or lobby entrances (i.e., to a cluster of units or commercial spaces).

2. A building may have an entrance facing a side yard, pedestrian plaza, or breezeway/courtyard when a direct pedestrian facility is provided between the building entrance and the street rightof-way.

3. Exceptions to the Building Orientation Standards. Developments in conformance with subsection (C)(2) of this section as illustrated in Figure 2.2.500.A, “Shopping Street” layout.

Figure 2.2.500.B – Building Orientation (Typical)

[Ord. NS-2488, 2023; Ord. NS-2463, 2023; Ord. NS-2195, 2013; Ord. NS-2016, 2006. Formerly 2.2.600]

2.2.600Commercial Design Review Standards.

A. Purpose. The Commercial Design Review standards are intended to provide detailed, humanscale design, while affording flexibility to use a variety of architectural building styles. These design standards are in addition to the standards related to commercial development in BDC Chapter 3.2, Landscaping, Street Trees, Fences and Walls, and BDC Chapter 3.3, Vehicle Parking, Loading and Bicycle Parking.

B. Applicability. BDC Chapter 4.2, Minimum Development Standards Review, Site Plan Review and Design Review, contains the procedural requirements that pertain to this section.

C. Standards. For developments subject to site plan or design review, the following standards must be met. A design feature used to comply with one standard may be used to comply with another standard.

1. Residential Building Design Review. All residential buildings subject to site plan or design review shall comply with the Residential District design guidelines, as listed in BDC 2.1.900, Architectural Design Standards, and not the commercial design review standards of this section.

2. Commercial Design Review. The following standards apply to all commercial and mixed-use buildings:

a. Buildings with exterior walls greater than 50 feet in horizontal length must use a combination of architectural features and a variety of building materials.

i. Walls that can be viewed from public streets must also be designed with windows totaling a minimum of 10 percent of the wall area and using architectural features and landscaping (abutting the building) for at least 50 percent of the wall length.

ii. Other walls must incorporate architectural features and landscaping for at least 30 percent of the wall length.

b. Architectural features include, but are not limited to, the following: recesses, projections, wall insets, arcades, window display areas, awnings, balconies, window projections, landscape structures or other features that complement the design intent of the structure and are acceptable to the Review Authority.

c. The predominant building materials should be characteristic of Central Oregon such as brick, wood, native stone and tinted/textured concrete masonry units and/or glass products. Other materials such as smooth-faced concrete block, undecorated tilt-up concrete panels, or prefabricated steel panels should only be used as accents and not dominate the building exterior of the structure. Metal roofs may be allowed if compatible with the overall architectural design of the building.

d. Roofs should be designed to reduce the apparent exterior mass of a building, add visual interest and be appropriate to the architectural style of the building. Variations within one architectural style are highly encouraged. Visible rooflines and roofs that project over the exterior wall of a building enough to cast a shadow on the ground are highly encouraged. Architectural methods shall be used to conceal flat rooftops; however, a maximum of 30 percent of the building elevations visible from the adjacent right-of-way may include flat roof components. Overhanging eaves, sloped roofs, parapet walls that have variations vertically and horizontally with decorative features, and multiple roof elements are highly encouraged. Mansard style roofs are discouraged.

e. Clearly defined, highly visible customer entrances using features such as canopies, porticos, arcades, arches, wing walls, and/or integral planters are required.

f. Community amenities such as patio/seating areas, water features, art work or sculpture, clock towers, pedestrian plazas with park benches or other features located in areas accessible to the public are encouraged and may be calculated as part of the landscaping requirements of BDC Chapter 3.2

g. The use of neon, metallic or fluorescent for the facade and/or roof of the building is prohibited except as approved for building trim that does not exceed 25 percent of each facade. The use of trademark colors requires City approval.

h. Exterior lighting must comply with the outdoor lighting provisions of BDC 3.5.200. Light poles and/or fixtures and flag poles must not exceed 25 feet in height.

i. Outdoor and rooftop mechanical equipment as well as trash cans/dumpsters must be architecturally screened from view. Heating, ventilation and air conditioning units must have a noise attenuating barrier to protect adjacent residential districts from mechanical noise.

3. Large-Scale Buildings and Developments. For the purpose of this section, “large-scale buildings and developments” are defined as:

a. Individual buildings with more than 20,000 square feet of enclosed ground-floor space. Multitenant buildings shall be counted as the sum of all tenant spaces within the same building shell; and

b. Multiple-building developments with a combined enclosed ground-floor space more than 40,000 square feet (e.g., shopping centers, public/institutional campuses, and similar developments).

4. Design Standards for Large-Scale Buildings and Developments. All large-scale buildings and developments, as defined above, shall provide human-scale design by conforming to all of the following standards:

a. Incorporate changes in building wall direction and divide large masses into varying heights and sizes, as shown in Figure 2.2.600. Such changes may include building offsets; projections; changes in elevation or horizontal direction; sheltering roofs; terraces; a distinct pattern of divisions in surface materials; windows; screening trees; small-scale lighting (e.g., wall-mounted lighting, or up-lighting as described in BDC 3.5.200 (Outdoor Lighting Standards)); and similar features.

Figure 2.2.600. Design of Large-Scale Buildings and Developments (Typical)

Note: the example shown above is meant to illustrate examples of these building design elements, and should not be interpreted as a required design style.

5. Exceptions to Commercial Design Review Standards. An exception to the design standards of this section may be approved by the Planning Commission through a Type III Process if the Commission finds that the proposed development complies with the purpose and intent of the Commercial Design Review standards. The applicant shall pay a fee specified by the City for Planning Commission review. [Ord. NS-2488, 2023; Ord. NS-2271, 2016; Ord. NS-2195, 2013; Ord. NS-2016, 2006. Formerly 2.2.800]

2.2.700Pedestrian Amenities.

A. Pedestrian Amenity Standards.

1. Commercial developments with one or more buildings totaling more than 10,000 square feet and subject to Commercial Design Review shall provide at least one of the “pedestrian amenities” listed below. Pedestrian amenities may be provided on private property or within a public right-of-way (i.e., on the sidewalk, curb, or street pavement) when approved by the City (for City streets), Deschutes County (for County roads), or the Oregon Department of Transportation (“ODOT”) (for State highways):

a. A plaza, courtyard, square or extra-wide sidewalk next to the building entrance (minimum width of eight feet); or

b. Sitting space (i.e., dining area, benches or ledges) between the building entrance and sidewalk, with a minimum of 16 inches in height and 30 inches in width; or

c. Building canopy, awning, pergola, or similar weather protection (minimum projection of four feet over a sidewalk or other pedestrian space); or

d. Public art (e.g., fountain, sculpture, etc.).

Note: the example shown above is meant to illustrate examples of pedestrian amenities. Other types of amenities and designs may be used. [Ord. NS-2195, 2013; Ord. NS-2016, 2006. Formerly 2.2.900]

2.2.800Development and Design Standards for the Central Business Zoning District.

A. Purpose. The development and design standards contained in this section have been adopted to regulate development in the Central Business Zoning District to protect and enhance the downtown core area of Bend.

B. Applicability The development and design standards of this section apply to all areas within the CB Zone. The standards of this section are in addition to the site plan review regulations of

Figure 2.2.700 – Pedestrian Amenities (Typical)

BDC Chapter 4.2. The standards of this section are in lieu of the commercial design standards of BDC 2.2.600.

Major advantages of the development and design standards include:

•Ensuring that future development is consistent with the CB Zone’s existing pedestrian-oriented scale of buildings.

•Strengthening the downtown area as the heart of the community, and as a place for people and business.

•Improving and expanding downtown’s economic base to meet future opportunities.

•Enhancing the physical appearance of downtown through high-quality design.

•Preserving and enhancing downtown through refined design standards.

C. Exempt Development. No development approval is required for exempt development. Exempt development includes:

1. Landscaping or landscape alterations.

2. Repair or maintenance of public or private buildings, structures, landscaping, roads and/or utilities that present a risk to public safety. Maintenance of the exterior of an existing structure such as window and door replacement, re-painting, re-roofing, or re-siding where similar materials and colors are used is also exempt.

3. Construction of a structure that does not require a building permit.

4. Interior remodeling.

5. Temporary structures and uses which are for relief of victims of disaster or an emergency.

D. Nonexempt Development. Any development in the CB Zone that does not qualify as exempt development shall meet the development standards in this chapter in addition to the site development and design standards in this section.

E. Application Process. The City will review compliance with the development and design standards of this section. Approval shall be obtained prior to the issuance of a building permit for all nonexempt development. Nonexempt development in the CB Zone must follow one of the two tracks for obtaining Design Review approval:

1. Track 1 – Administrative Review of Compliance with Design Standards. Track 1 requires applicants to meet objective development and design standards. Design standards are quantifiable and measurable. These applications are reviewed through the Type II process, which

reduces the amount of time that it takes to get the project reviewed. Track 1 provides an efficient time saving alternative to Track 2.

2. Track 2 – CB Zone Design Review of Compliance with Design Guidelines. Track 2 similarly requires applicants to meet objective development standards, but does not require some or all of the design standards. In the Track 2 process, applications are reviewed through the Type III process before the Planning Commission. During their review, the Planning Commission will determine whether an application meets the design guidelines. Unlike design standards, design guidelines are discretionary. In Track 2, the intent statements serve as the criteria for determining if the “intent” of the design standard is being met. In Track 2, applicants are required to identify how their proposed site/building plan meets the intent statements of the design standards, and why specific objective standards cannot be met.

F. Application Requirements. If the development is “nonexempt,” the applicant shall file an application for CB Zone Design Review with the City. The application may be filed in conjunction with other permits when the property is subject to other development approvals. The application shall be accompanied by pertinent materials containing information as specified by the City.

G. Approval Process. The development standards of subsection H of this section shall be applied to CB Zone Design Review applications either by staff for Track 1 applications or by the Planning Commission for Track 2 applications.

H. Development Standards. The development standards for the CB Zone ensure that new projects in the CB Zone will be compatible with the desired scale and character of downtown Bend. For all development subject to design review, the following standards apply:

1. Minimum Floor Area Ratio (FAR). The minimum FAR is 2:1.

2. Maximum Building Height. No building or structure shall be erected, enlarged or structurally altered to exceed the height regulations listed below.

The maximum allowable building height limits in the CB Zone are as follows:

a. On CB Zone properties between Franklin Blvd. and Newport Ave. on the west side of Brooks Street and Brooks Alley, the maximum allowable building height limit is 35 feet. A Class B variance to exceed the height limit by no more than five feet may be allowed in this area if approved by the Planning Commission through a Type III process.

b. On CB Zone properties east of Brooks Street and west of the alley between Wall and Bond Streets, the maximum allowable building height limit is 45 feet.

c. On CB Zone properties east of the alley between Wall and Bond Streets and west of Bond Street, the maximum building height limit is 55 feet. Where portions of a building are higher than 45 feet, 60 percent of the street-facing facades higher than 45 feet must be set back one foot from the street-facing property line for every one foot that the building exceeds 45 feet in height,

with a minimum setback of five feet and a maximum setback of 20 feet. The required setback may be reduced by one foot for each foot below the 45-foot height level that the setback begins, e.g., for a building that begins its setback at the 35-foot height level (10 feet below what is required) the required setback can be reduced by 10 feet.

d. On CB Zone properties east of Bond Street and west of the alley between Bond Street and Lava Road, the maximum building height limit is 60 feet. Where portions of a building are higher than 45 feet, 60 percent of the street-facing facades higher than 45 feet must be set back one foot from the street-facing property line for every one foot that the building exceeds 45 feet in height, with a minimum setback of five feet and a maximum setback of 20 feet. The required setback may be reduced by one foot for each foot below the 45-foot height level that the setback begins, e.g., for a building that begins its setback at the 35-foot height level (10 feet below what is required) the required setback can be reduced by 10 feet.

e. On CB Zone properties east of the alley between Bond Street and Lava Road, the maximum allowable building height is 70 feet.

3. Minimum Building Setback. There is no minimum building setback from the property line facing the street.

4. Maximum Building Setback. The maximum building setback of the ground floor from the property line facing the street is 10 feet. At least 50 percent of the length of the ground level, street-facing facade of buildings must be on the property line. If the site has two or more street frontages, this standard applies to all frontages. Buildings that set back from the property line and face a Residential Zone can choose to develop the setback with low shrubs and/or ground cover. Buildings that set back from the property line and face a Commercial Zone must incorporate a hardscape and meet accessibility requirements. Plantings in the commercialfronting setback must be in planters. All plantings must be drought tolerant and not be classified as a nuisance plant

5. Ground-Floor Windows. Ground-floor windows must be installed for at least 50 percent of the building length and have an area equal to 60 percent of the street-facing ground-floor wall area. Ground-floor wall area includes all wall areas up to 10 feet above finished grade. If the site has two or more frontages, the ground-floor window standard is only required on the primary facade – the facade that fronts the street with the higher classification. The other facade has a minimum ground-floor window requirement of 50 percent of the length and 25 percent of the ground-floor wall area. Windows are required to be transparent to foster both a physical and visual connection between activities in the building and pedestrian activities on the street.

6. Main Entrance. The main entrance to a building shall face the street or be on the corner.

7. Accessibility Guidelines. All public areas must comply with applicable accessibility standards.

I. Design Standards. The design standards for the CB Zone help guide the development and redevelopment of properties within the CB Zone. They are intended to implement the community

goals and objectives in the Bend Comprehensive Plan by providing a framework for how Downtown Bend should ultimately look, function, and feel.

1. Existing Edge Conditions. Intent: Encourage the development of a cohesive, exciting and vibrant street life.

Approach: All street-facing elevations must have front doors that face the street and meet at least one of the following options:

•Courtyard/Plaza Option. Embellish the pedestrian zone by creating accessible courtyards/plazas as extension of the sidewalk (the public realm). Incorporate pedestrian amenities such as street trees, outdoor seating, display areas, public art, human-scale lighting and decorative pavers.

•Street Edge Option. Orient the primary entrance to the building along the street-facing property line, fostering a continuous and cohesive edge and defining inside from outside.

•Recessed Entry Option. Create/enhance semi-public transition areas between the sidewalk (public realm) and the recessed entry door (private realm). Define this area with lighting that draws attention to ground-floor window displays, signage and the building’s architectural details. Supplement the lighting with special paving treatments that emphasize the entry (tile, etched concrete and/or brick). Asphalt is prohibited.

•Arcade Option. Design an arcade that meets the following requirements:

– The columns and piers (that support the building above) are six to 10 feet deep between the front property line and the parallel building wall.

– The columns and piers consist of openings that are a minimum of six feet wide.

– The columns and piers are a minimum of 18 inches from the property line (measured to the center of the column or pier).

– The columns and piers are equally spaced and extend the entire length of the opening.

– The building facade directly behind the arcade meets the ground-floor window development standard.

– The arcade elevation facing the street is a minimum of 10 feet in height and covered by the building.

Spacing between columns and/or posts along building elevations less than 30 feet in length shall not exceed 10 feet. Spacing between columns and/or posts along building elevations greater than 50 feet in length shall not exceed spacing of 20 feet.

The arcade option meets the ground-floor window standard; provided, that the ground-floor building facade behind the arcade meets the 50 percent length and 60 percent wall glazing requirement.

Buildings with two or more frontages are only required to meet the arcade option along one street facade. However, if the arcade is proposed on both street frontages, the minimum spacing for openings is required along the entire opening.

2. Human Scale. Intent: Building facades must be designed in a manner that is aesthetically appealing, comfortable to pedestrians, and compatible with the character of the surrounding built environment as a way of emphasizing human scale.

Approach: Provide visual interest for pedestrians by incorporating building details at the ground floor that relate to the surrounding built environment, and are at a human scale. This is to be accomplished by meeting two or more of the following options:

•Incorporating building lighting between 10 and 15 feet from the sidewalk to the bottom of the light fixture.

•Incorporating suspended signs (blade signs) between eight and 12 feet from the sidewalk to the bottom of the suspended sign.

•Incorporating horizontal and vertical elements at the ground floor/the base of the building that are familiar to pedestrians and are at human scale: sign frieze, storefront cornice, window mullions, piers that frame storefronts, engaged columns, arcades, brick coursings, awnings, and well-lit transoms.

•Incorporating a rhythm of awnings and/or canopies.

Pedestrian-oriented lighting is required between structural bays; lighting must follow a consistent spacing pattern.

3. Physical, Visual and Experiential Connections. Intent: Incorporating interesting features into a building/site to emphasize the role that physical, visual and experiential connections give to creating meaningful places.

Approach: Embellish the buildings with two or more of the following elements:

•A variety of building materials (stone, brick, concrete, wood, metal, and glass).

Use of colors that are contextual to Bend and the larger Pacific Northwest landscape serve to embellish the building and the public realm.

Traditional Central Business Zones, like Bend’s CB Zone, often consist of tri-part buildings where the base, middle and top of the building are defined by color, texture and materials.

•Architectural elements such as cornices, arcades, porticos, and transom windows.

•Tri-part building facades that emphasize a clear base, middle and top.

Traditional style storefront buildings typically include an uninterrupted band commonly referred to as a bulkhead, kickplate (doors), window base or a base panel, around the base of the building. This band is approximately 16 inches above the sidewalk and serves to “anchor” the building to the site. This band is most often constructed of wood, concrete, brick, stone or metal. Using tape or paint for the bulkhead is prohibited.

Display windows in traditional storefront buildings are typically terminated in the base band or bulkhead. The bulkhead, window frame and windowsill hold the window and help to further accentuate relief in the building facade. The top of the storefront is architecturally capped by horizontal elements, including sign bands, storefront cornices and transoms. These features serve as a transition device from the base of the building to the middle of the building.

4. Cohesive Elements. Intent: Incorporate cohesive and repetitive elements into the building as a means of enhancing the pedestrian realm and giving meaning to the building.

Approach: Incorporate three or more of the following repetitive building elements:

•Building lighting.

•Columns, engaged columns/pilasters and arcades.

•Suspended signs (blade signs).

•Canopies and/or awnings.

•Transoms.

•Balconies.

Architects and designers are encouraged to think creatively above and beyond the ground-floor window requirements specified in the design standards. Besides implementing cohesive elements, architects and designers should consider the interplay of shadows and light, and vertical and horizontal “architectural features” on neighboring buildings.

5. Integrate Building Parapets and Rooftops. Intent: Treat the top of the building, the point where the edifice meets the sky, as part of the larger facade composition and, where possible, accentuate the ornamentation found on existing traditional CB Zone buildings. Fully screen all rooftop mechanical equipment from the adjacent sidewalk.

Approach: Create visual interest at the top of the building by incorporating one of the following options:

•Integrating elements at the roofline such as detailed eaves, projected cornices and articulated parapets.

•Incorporating rooftop forms, other than flat roofs, that add visual interest to the facade.

Sloped roof heights from eave to peak should not exceed the height from grade to the eave (the roof should not be taller than the building wall supporting the roof).

•Designing rooftop gardens for the purpose of managing stormwater runoff into Bend’s rivers and streams and/or as a place for people to gather.

Screening for rooftop mechanical equipment is to be opaque. Rooftop equipment is required to be set back from the parapet or building edge a minimum of 10 feet. Screened mechanical equipment is exempt from the height requirement.

6. Weather Protection Projections. Intent: Weather protection shall be provided along buildings adjacent to pedestrian walkways.

Approach: Provide weather protection for pedestrians along 50 percent of the ground-floor facade that is required to be on the property line and at all street-facing entrances.

Awnings, marquees, balconies, overhangs, umbrellas, fabric tensile structures, building appendages, or other weather protection projections are required to extend five feet over the sidewalk.

7. Reinforce the Corner. Intent: Create dynamic public gathering spaces where streets intersect by embellishing the corner of the building.

Approach: Incorporate one or more of the following elements:

•Place the highest and/or the most visible part of the building within 25 feet of the corner. Use architectural features such as cupolas, turrets, and hipped or pitched roofs to add prominence to the corner location.

•Locate the main/primary entry to the building within 25 feet of the corner or at the corner itself.

•Emphasize the corners of the building as a gathering place by extending paving materials that front the building to the property line.

The following elements typically define the corner entry: round or chamfered corners with double doors, doors with large amounts of glass, awnings/canopies and more defined vertical elements (columns).

8. Pedestrian-Oriented Ground Floor. Intent: Ensure that the ground floor of the primary street facade is distinguished from the upper floors and that there is the sense of interaction between

activities in the building and activities on the sidewalk. Create storefronts and entries that are visible (transparent) and easily accessible from the street.

Approach: Emphasize the importance of the ground floor, especially the primary street-facing entry, by incorporating three or more of the following elements:

•Extra-height entry lobby space.

•Continuous well-lit transom windows.

•Enhanced distinctive doorway treatments.

•Decorative lighting.

•Projecting or recessing the entry bays.

•Incorporating artwork into the facade that is visible to pedestrians on the sidewalk.

•Incorporating unified paving materials, textures, and color.

Paving material in recessed entries/vestibules should help emphasize the transition from the sidewalk to the building.

9. Alley Facade Treatment. Intent: Design alley facades that share a corner with street-facing facades to be inviting and safe for pedestrians.

Approach: Incorporate the following facade elements:

•Wrap the required street facing fenestration into the alley a minimum of 10 feet.

•Add exterior lighting along the entire length of the alley-facing facade to enhance visibility and safety.

Windows facing the alley must be transparent to ensure that the alley is monitored by people inside the building (“eyes on the street”).

10. Urban Materials. Intent: Ensure that building materials are compatible with well-designed surrounding buildings and, where possible, embrace the natural features (geology) of the region.

Approach: Incorporate one or more of the following elements:

•At the ground floor, use materials that give the base of the building a sense of permanence with the use of: brick, metal, terra cotta, stone, concrete, block, or stucco.

•Clearly distinguish the ground floor from the upper floors by implementing strong horizontal elements such as a frieze or a cornice, and/or changing materials and/or arranging the upper

windows, which are different in size than the storefront windows, in a consistent and rhythmic pattern.

•Ensure that the design of the upper floors is cohesive with that of the ground floor through the extension of actual guidelines (brick, expansion joints, and downspouts) and implied guidelines (cornices, transoms, balconies, and window mullions).

•Do not use materials that appear synthetic and are not compatible with materials (materials that are indigenous to the region) found on many of Bend’s existing buildings. Undesirable materials and treatments include: mirrored glass, vinyl siding, cementitious siding, false-brick veneer and synthetic stucco.

J. General Provisions.

1. Floor Area Ratios. Floor area ratios (FARs) regulate the amount of use (the intensity) allowed on a site. FARs also work with the height, setback, and building coverage standards to control the overall bulk of development. FARs are calculated by dividing the building floor area by the size of the development area.

2. Ground-Floor Windows. In the CB Zone, ground-floor street-facing windows are intended to:

•Provide a pleasant, rich, and diverse pedestrian experience by connecting activities occurring within a structure to adjacent sidewalk areas.

•Encourage continuity of retail and service uses.

•Create an exciting pedestrian environment.

•Create a visual dialogue between activities in the building and activities on the sidewalk.

Windows must be at least 50 percent of the length and 60 percent of the ground level wall area. Ground level wall areas include all exterior wall areas up to 10 feet above the finished grade.

3. Height. Height limits are intended to control the overall scale of buildings. The maximum building height within the CB Zone emphasizes pedestrians and a mix of uses. Exceptions to maximum height:

•Projection Allowed. Projections and architectural elements that do not add habitable interior floor area to a building, such as chimneys, spires, steeples, clock towers, skylights, atriums, elevator shaft housings, stair enclosures, trellises, railings, flag poles, signs, mechanical equipment and screens, antennas and other similar items not used for human occupancy, shall be allowed to exceed the maximum allowable building height limit by 10 feet.

4. Landscaped Areas. Landscaping is not required in the CB Zone, except for the five-foot buffer next to Residential Zones. Landscaping is intended to soften the effects of built and paved

areas. It also helps reduce stormwater runoff by providing a surface into which stormwater can percolate.

5. Main Entrance. Fronting the main entrance of a building to the street enhances pedestrian access between the use inside the building and activities on the sidewalk. This orientation also enables building occupants to see what is happening in the street, such as arriving transit service.

K. Pedestrian Standards. The pedestrian standards encourage a safe, attractive, and usable pedestrian circulation system in all developments. They ensure a direct pedestrian connection between the street and buildings on the site, and between buildings and other activities within the site. In addition, they provide for connections between adjacent sites, where feasible. A sidewalk circulation system must be hard-surfaced, and be at least six feet wide. Where the system crosses driveways, parking areas, and loading areas, the system must be clearly identifiable, through the use of elevation changes, speed bumps, a different paving material, or other similar methods. The on-site pedestrian circulation system must be illuminated to a level where employees, residents, and customers can use the system at night. Land between a building and the street property line must be landscaped and/or hard-surfaced for use by pedestrians.

L. Setbacks. Setbacks promote streetscapes that are consistent with the desired character of the zones. The CB Zone promotes buildings close to the sidewalk to reinforce a pedestrian orientation and built-up streetscape. The setback requirements for areas that abut Residential Zones promote commercial development that will maintain light, air, and privacy in Residential Zones. The following items are allowed to encroach into setbacks:

•Canopies, marquees, and awnings.

•Uncovered stairways and wheelchair ramps that lead to the street-facing facade.

•Uncovered decks and stairways that are no more than two and one-half feet above ground.

•Mechanical structures such as heat pumps, air conditioners, and emergency generators are not allowed. [Ord. NS-2271, 2016; Ord. NS-2206, 2013; Ord. NS-2195, 2013; Ord. NS-2016, 2006. Formerly 2.2.1000]

Turn static files into dynamic content formats.

Create a flipbook