3149 SW Antler Lane Redmond - Homebook

Page 1

Deschutes County Title has provided this information as a courtesy and assumes no liability for the accuracy of the data and does not warranty the fitness of this product for any particular purpose. 3149 SW Antler Lane|Redmond|Oregon|97756 Bend 397 SW Upper Terrace Dr Bend, Oregon 97702 Office: 541.389.2120 Fax: 541.389.2180 Redmond 845 SW Veterans Way Redmond, Oregon 97756 Office: 541.527.1274 Fax: 541.527.1281 La Pine 51515 Huntington Rd La Pine, Oregon 97739 Office: 541.876.6990 Fax: 541.876.2740 St Helens 240 South First Street St. Helens, Oregon 97051 Office: 503.397.2587 Fax: 503.366.1708 HOMEBOOK www.deschutestitle.com

*Customary for Seller to Pay

RealEstateAgentCommissions

Reconveyance/ReleaseFees

PrepaymentPenalties(IfApplicable)

Owner'sTitleInsurance

EscrowFee

TaxProrations

LienSearch(ifapplicable)

Mortgages&Encumbrances

AnyPropertyTaxDue

LoanOriginationFee/Discount

CreditFee

MortgageInsurance(ifapplicable)

ReserveSetUpFee(ifapllicable)

FireInsurance1year(homeownerspolicy)

Floodinsurance(ifapplicable)

FloodandTaxCertifications

PrepaidInterest

HomeOwnersAssociationFees(ifapplicable)

VAFundingFee

TaxProration

EscrowFee

RecordingFee LendersTitleInsurance

* Items listed are intended to represent only what may be customarily charged and may not reflect actual charges at closing. Consult with your real estate professional or title company representtaive for actual charges specific to your transaction.

Seller to pay full escrow fee (includes buyer escrow fee)

ConventionalFHA VA ● ● ● ● ● ● ● ● ● ● ● ● ● ● ● ● ● ● ● ● ● ● ● ● ● ● ● ● ● ● ● ● ● ● ● ● ● ConventionalFHA VA ● ● ● ● ● ● ● ● ● ● ● ● ● ● ● ● ● ● ● ● ● ● ● ● ● ● ● ● ● ● ● ● ● ● ● ● ● ● ● ● ● ● ● ● ●
GUIDE TO CLOSING COSTS
Buyer'sLenderFees(variesbylender)
AppraisalFee
TypeofFinancing TypeofFinancing
for Buyer to Pay Cash (no loan) Cash (no loan)
*Customary
Deschutes Title Market Report Redmond, OR 97756 REPORT FOR 5/26/2023 Single-Family Homes Presented by Kevin White 541-389-2120 kwhite@titlemanagement.org www deschutestitle com

This week the median list price for Redmond, OR 97756 is $599,000 with the market action index hovering around 43. This is less than last month's market action index of 44 Inventory has increased to 123

Market Action Index

This answers “How’s the Market?” by comparing rate of sales versus inventory

Redmond, OR 97756

Real-Time Market Profile

Slight Seller's Advantage

In the last few weeks the market has achieved a relative stasis point in terms of sales to inventory. However, inventory is sufficiently low to keep us in the Seller’s Market zone so watch changes in the MAI. If the market heats up, prices are likely to resume an upward climb.

Market Segments

Single-Family Homes
Median List Price $599,000 Median Price of New Listings $610,203 Per Square Foot $316 Average Days on Market 72 Median Days on Market 35 Price Decreased 39% Price Increased 4% Relisted 2% Inventory 123 Median Rent $2,213 Market Action 43 Slight Seller's Advantage Deschutes Title Market Report deschutestitle.com
Buyer's Market Seller's Market 0 10 20 30 40 50 60 70 80 90 100 Tod a y
43
LastMonth
Each segment below represents approximately 25% of the market ordered by price Median Price Sq. Ft. Lot Size Beds Bath Age New Absorbed DOM $1,049,750 2,426 2 5 - 5 acres 3 3 19 3 3 59 $669,900 2,190 8,000 - 10,000 sqft 3 2.5 4 5 4 21 $575,000 1,979 6,500 - 8,000 sqft 3 2 5 7 5 8 21 $460,000 1,559 6,500 - 8,000 sqft 3 2 19 1 7 42 2 of 6 Fri May 26 2023 Powered by Altos Research, Inc. | www.altos.re | Copyright © 2023 Altos Research, Inc.

Median List Price

Again this week we see prices in this zip code remain roughly at the level they’ve been for several weeks. Since we’re significantly below the top of the market, look for a persistent up-shift in the Market Action Index before we see prices move from these levels.

Segments

In the quartile market segments, we see prices in this zip code have settled at a price plateau across the board. Prices in all four quartiles are basically mixed. Look for a persistent shift (up or down) in the Market Action Index before prices move from these current levels.

Single-Family Homes Redmond, OR 97756 Deschutes Title Market Report deschutestitle.com
7-Day Average 90-Day Average Jun 2018 Dec 2018 Jun 2019 Dec 2019 Jun 2020 Dec 2020 Jun 2021 Dec 2021 Jun 2022 Dec 2022 $300K $400K $500K $600K $700K $800K $900K
Top 90-Day Upper 90-Day Lower 90-Day Bottom 90-Day Jun 2018 Dec 2018 Jun 2019 Dec 2019 Jun 2020 Dec 2020 Jun 2021 Dec 2021 Jun 2022 Dec 2022 $0 $250K $500K $750K $1.0M $1.3M $1.5M 3 of 6 Fri May 26 2023 Powered by Altos Research, Inc. | www.altos.re | Copyright © 2023 Altos Research, Inc.

Price Per Square Foot

The market plateau is seen across the price and value. The price per square foot and median list price have both been reasonably stagnant. Watch the Market Action Index for persistent changes as a leading indicator before the market moves from these levels.

Inventory has been relatively steady around these levels in recent weeks.

Single-Family Homes Redmond, OR 97756 Deschutes Title Market Report deschutestitle.com
7-Day Average 90-Day Average Jun 2018 Dec 2018 Jun 2019 Dec 2019 Jun 2020 Dec 2020 Jun 2021 Dec 2021 Jun 2022 Dec 2022 $200 $250 $300 $350 $150 $400 Inventory
7-Day Average 90-Day Average Jun 2018 Dec 2018 Jun 2019 Dec 2019 Jun 2020 Dec 2020 Jun 2021 Dec 2021 Jun 2022 Dec 2022 0 100 200 300 400 4 of 6 Fri May 26 2023 Powered by Altos Research, Inc. | www.altos.re | Copyright © 2023 Altos Research, Inc.

Market Action Index

In the last few weeks the market has achieved a relative stasis point in terms of sales to inventory. However, inventory is sufficiently low to keep us in the Seller’s Market zone so watch changes in the MAI. If the market heats up, prices are likely to resume an upward climb.

Market Action Segments

Not surprisingly, all segments in this zip code are showing high levels of demand. Watch the quartiles for changes before the whole market changes. Often one end of the market (e.g. the highend) will weaken before the rest of the market and signal a slowdown for the whole group.

Single-Family Homes Redmond, OR 97756 Deschutes Title Market Report deschutestitle.com
7-Day Average 90-Day Average Jun 2018 Dec 2018 Jun 2019 Dec 2019 Jun 2020 Dec 2020 Jun 2021 Dec 2021 Jun 2022 Dec 2022 100 0 25 50 75 125
Top 90-Day Upper 90-Day Lower 90-Day Bottom 90-Day Jun 2018 Dec 2018 Jun 2019 Dec 2019 Jun 2020 Dec 2020 Jun 2021 Dec 2021 Jun 2022 Dec 2022 20 40 60 80 100 120 5 of 6 Fri May 26 2023 Powered by Altos Research, Inc. | www.altos.re | Copyright © 2023 Altos Research, Inc.

Median Days on Market (DOM)

The properties have been on the market for an average of 83 days. Half of the listings have come newly on the market in the past 42 or so days. Watch the 90-day DOM trend for signals of a changing market.

Segments

It is not uncommon for the higher priced homes in an area to take longer to sell than those in the lower quartiles.

Single-Family Homes Redmond, OR 97756 Deschutes Title Market Report deschutestitle.com
7-Day Average 90-Day Average Jun 2018 Dec 2018 Jun 2019 Dec 2019 Jun 2020 Dec 2020 Jun 2021 Dec 2021 Jun 2022 Dec 2022 0 25 50 75 100 125
Top 90-Day Upper 90-Day Lower 90-Day Bottom 90-Day Jun 2018 Dec 2018 Jun 2019 Dec 2019 Jun 2020 Dec 2020 Jun 2021 Dec 2021 Jun 2022 Dec 2022 0 50 100 150 200 6 of 6 Fri May 26 2023 Powered by Altos Research, Inc. | www.altos.re | Copyright © 2023 Altos Research, Inc.

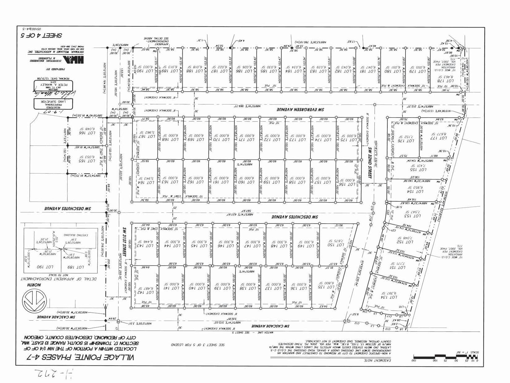
AreaProfiled:VillagePointe,Phases6-7 ReportDate: 05/26/2023

SalesDates: 11/06/2007-02/27/2023

AverageSalePricebyYear:01/01/2015-05/26/2023

LengthofResidence

*70sale(s)areincludedinthegraph **18sale(s)withnosalepriceareexcludedfromthegraph

SalesStatisticsbyYear:01/01/2015-05/26/2023

InformationisdeemedreliablebutnotguaranteedPoweredbygeoAdvantage

NumberofParcels:97 ParcelswithViews:0
WaterfrontParcels:0
AverageLengthofResidence 5yr(s) OwnershipLength # %ofHomes 0-2Years 18 18% 2-4Years 20 20% 4-6Years 8 8% 6-10Years 44 45% 10+Years 7 7%
fromthecalculation
*97parcel(s)areincludedinthecalculation **0parcel(s)withnosaledateareexcluded
Year # Sales Price/SqFtPrice/FinSqFt % Turnover AvgSale Price MinSale Price MaxSale Price 2015 23 $138 $138 24 $202,086 $169,540 $250,010 2016 12 $153 $153 12 $233,443 $184,415 $269,862 2017 4 $160 $160 4 $271,250 $240,000 $330,000 2018 4 $194 $194 4 $263,375 $235,000 $295,000 2019 5 $208 $208 5 $284,280 $260,000 $319,900 2020 8 $212 $212 8 $345,125 $314,000 $390,000 2021 6 $264 $264 6 $440,383 $365,000 $534,900 2022 7 $298 $298 7 $452,000 $297,500 $595,000 2023 1 $312 $312 1 $439,000 $439,000 $439,000 *70sale(s)areincludedinthetable **18sale(s)withnosalepriceorbuildingsqftareexcludedfromthetable
AverageAgeofHome 10yr(s) YearBuilt # %ofHomes <5Years 0 0% 5-10Years 65 67% 10+Years 32 33% OwnerOccupancy OwnerMail # %ofHomes OwnerOccupied 83 86% InStateNon-OwnerOcc 12 12% OutofState 2 2% AssessedValues AverageValues $160,782 YearAssessment # %ofHomes $1k-$250k 97 100% $251k-$500k 0 0% $501k-$750k 0 0% $751k-$15M 0 0% $15M+ 0 0%
AgeofHomes

Property Profile Taxes Deed

PropertyProfileSummary

SUBJECTPROPERTY

256760

DeschutesCounty

ADDRESS 3149SWAntlerLn Redmond,OR97756

OWNER NashFamilyTrust

DATE 05/26/2023

PREPAREDBY SarahLewis sarahl@deschutestitle.com

DESCHUTESCOUNTYPROPERTYPROFILEINFORMATION

Parcel#:256760

TaxLot:151317BB09000

Owner:NashFamilyTrust

CoOwner:

Site:3149SWAntlerLn

RedmondOR97756

Mail:3149SWAntlerLn

RedmondOR97756

LandUse:101-Residential-Improved(typicalofclass)

StdLandUse:RSFR-SingleFamilyResidence

Legal:VILLAGEPOINTEPHASES4-7Lot:97

Twn/Rng/Sec:T:15SR:13ES:17Q:NWQQ:NW

ASSESSMENT&TAXINFORMATION

MarketTotal:$364,460.00

MarketLand:$187,500.00

MarketImpr:$176,960.00

AssessmentYear:2021

AssessedTotal:$132,400.00

Exemption:

Taxes:$2,536.55

LevyCode:2-001

LevyRate:191581

SALE&LOANINFORMATION

SaleDate:12/17/2021

SaleAmount:

Document#:69470

DeedType:Deed

LoanAmount:

Lender:

LoanType:

InterestType:

TitleCo:

PROPERTYCHARACTERISTICS

YearBuilt:2007

EffYearBuilt:

Bedrooms:3

Bathrooms:2

#ofStories:1

TotalSqFt:1,202SqFt

Floor1SqFt:1,202SqFt

Floor2SqFt:

BasementSqFt:

Lotsize:015Acres(6,534SqFt)

GarageSqFt:400SqFt

GarageType:

AC:

Pool:

HeatSource:

Fireplace:1

BldgCondition:

Neighborhood:002

Lot:97

Block:

Plat/Subdiv:VillagePointePh04-07

Zoning:R4-GeneralResidential(R4)

SchoolDist:2J-Redmond

Census:2076-001001

Recreation:

SentryDynamics,Inc anditscustomersmakenorepresentations,warrantiesorconditions,expressorimplied,astotheaccuracyorcompletenessofinformationcontainedinthisreport

Deschutes County Property Information

Report Date: 5/26/2023 10:31:00 AM

Disclaimer

The information and maps presented in this report are provided for your convenience. Every reasonable effort has been made to assure the accuracy of the data and associated maps. Deschutes County makes no warranty, representation or guarantee as to the content, sequence, accuracy, timeliness or completeness of any of the data provided herein. Deschutes County explicitly disclaims any representations and warranties, including, without limitation, the implied warranties of merchantability and fitness for a particular purpose. Deschutes County shall assume no liability for any errors, omissions, or inaccuracies in the information provided regardless of how caused. Deschutes County assumes no liability for any decisions made or actions taken or not taken by the user of this information or data furnished hereunder.

Account Summary

Account Information Ownership

Mailing Address: Map and Taxlot:

Account:

Mailing Name: Tax Status:

Situs Address:

NASH FAMILY TRUST

151317BB09000 256760

3149 SW ANTLER LN, REDMOND, OR 97756

NASH FAMILY TRUST

3149 SW ANTLER LN

REDMOND, OR 97756

Subdivision:

Block: 97 Lot:

VILLAGE POINTE PHASES 4-7

Assessor Acres:

Property Class: 101 -- RESIDENTIAL

Warnings, Notations, and Special Assessments

Review of digital records maintained by the Deschutes County Assessor’s Office, Tax Office, Finance Office, and the Community Development Department indicates that there are no special tax, assessment or property development related notations associated with this account. However, independent verification of the presence of other Deschutes County tax, assessment, development, and additional property related considerations is recommended. Confirmation is commonly provided by title companies, real estate agents, developers, engineering and surveying firms, and other parties who are involved in property transactions or property development. In addition, County departments may be contacted directly to discuss the information.

Assessable
Property Taxes Assessment Tax Code Area: Current Tax Year: 2001 $2,536.55 0.15 Valuation $187,500 $176,960 Land Structures Total $364,460 Real
$132,400 $132,400
Market Values as of Jan. 1, 2022
Maximum Assessed Assessed Value Veterans Exemption Current Assessed Values:
2018 - 2019 2019 - 2020 2020 - 2021 2021 - 2022 2022 - 2023 Real Market Value - Land $81,000 $81,000 $91,000 $111,000 $187,500 Real Market Value - Structures $145,120 $167,660 $177,300 $187,700 $176,960 Total Real Market Value $226,120 $248,660 $268,300 $298,700 $364,460 Maximum Assessed Value $117,660 $121,180 $124,810 $128,550 $132,400 Total Assessed Value $117,660 $121,180 $124,810 $128,550 $132,400 Veterans Exemption $0 $0 $0 $0 $0 Valuation History All values are as of January 1 of each year. Tax year is July 1st through June 30th of each year. Deschutes County Property Information Report, page 1

Tax Payment History

Sales History

Year Date Due Transaction Type Transaction Date As Of Date Amount Received Tax Due Discount Amount Interest Charged Refund Interest 2022 11-15-2022 PAYMENT 11-10-2022 11-10-2022 $2,460.45 ($2,536.55) $76.10 $0.00 $0.00 2022 11-15-2022 IMPOSED 10-12-2022 11-15-2022 $0.00 $2,536.55 $0.00 $0.00 $0.00 Total: $0.00 2021 11-15-2021 PAYMENT 11-08-2021 11-08-2021 $2,307.79 ($2,379.16) $71.37 $0.00 $0.00 2021 11-15-2021 IMPOSED 10-11-2021 11-15-2021 $0.00 $2,379.16 $0.00 $0.00 $0.00 Total: $0.00 2020 11-15-2020 PAYMENT 03-05-2021 03-05-2021 $118.64 ($118.64) $0.00 $0.00 $0.00 2020 11-15-2020 PAYMENT 03-05-2021 03-05-2021 $2,203.50 ($2,153.01) $0.00 $50.49 $0.00 2020 11-15-2020 IMPOSED 10-09-2020 11-15-2020 $0.00 $2,271.65 $0.00 $0.00 $0.00 Total: $0.00
Sale Date Seller Buyer Sale Amount Sale Type Recording Instrument 12/11/2021 NASH, RANDALL S & KATHRYN L NASH, RANDALL S & KATHY TTEES 08-GRANTOR/GRANTEE ARE THE SAME 2021-69470 09/10/2020 ROGERS, PENNY R NASH, RANDALL S & KATHRYN L $306,000 24-CONFIRMED SALE NOT USABLE IN RATIO STUDY 2020-46715 02/28/2008 ANTHEM HOMES LLC ROGERS, PENNY R $188,950 30-UNCONFIRMED SALE 2008-10257 05/03/2007 ANTHEM EQUITIES LLC ANTHEM HOMES LLC 06-GRANTEE IS RELATED/FRIENDS/BUSINES S ASSOCIATES 2007-26385
Structures Stat Class/Description Improvement Description Code Area Year Built Total Sq Ft 131 - RESIDENCE: One story SF per plans, int best est, LS includes fence 2001 2007 1,202 Floor Description Comp % Sq Ft First Floor 100 1,202 Rooms Deschutes County Property Information Report, page 2 (For Report Disclaimer see page 1)

Related accounts apply to a property that may be on one map and tax lot but due to billing have more than one account. This occurs when a property is in multiple tax code areas. In other cases there may be business personal property or a manufactured home on this property that is not in the same ownership as the land.

No Related Accounts found.

Living Dining Kitchen Nook Great Family Bed Full Bath Half Bath Bonus Utility Den Other 0 0 1 1 1 0 3 2 0 0 0 0 0 Floor Description Comp % Sq Ft Garage-Attached-Low Cost 100 400 AUTOMATIC DOOR OPENER 1 CARPET 1 COMP HVY - ROOF COVER 400 D.I. RANGE 1 DRYWALL 1 FORCED AIR HEATING 1,202 FOUNDATION - CONCRETE 1,202 FULL BATH 2 GAS FIREPLACE 1 HARDWOOD FLOOR 1 HF/DW/GD/MW 1 KITCHEN SINK 1 RECESSED LIGHTING 1 ROOF - GABLE 1 ROOF CVR - COMP HEAVY 1,202 SIDING - LAP 1 SIDING - T1-11/PLYWOOD 1 VAULTED CEILING 1 VINYL FLOOR 1 WATER HEATER 1 WINDOWS - DOUBLE/THERMAL PANE 1 WINDOWS - VINYL 1 Improvement Inventory Accessory Description Sq Ft Quantity CONCRETE-PAVING 461 ROOF EXT. FAIR 80 Land Characteristics Land Description Acres Land Classification Urban Lot 0.15 Ownership Name Type Name Ownership Type Ownership Percentage OWNER NASH FAMILY TRUST, OWNER 100.00% REPRESENTATIVE NASH, RANDALLS OWNER AS TRUSTEE REPRESENTATIVE NASH, KATHY OWNER AS TRUSTEE
Related Accounts Category Name Phone Address COUNTY SERVICES DESCHUTES COUNTY (541) 388-6570 1300 NW WALL ST, BEND, OR 97703 FIRE DISTRICT REDMOND FIRE AND RESCUE (541) 504-5000 341 NW DOGWOOD AVE, REDMOND, OR 97756 SCHOOL DISTRICT REDMOND SCHOOL DISTRICT (541) 923-5437 145 SE SALMON AVE, REDMOND, OR 97756 ELEMENTARY SCHOOL ATTENDANCE AREA M. A. LYNCH ELEMENTARY SCHOOL (541) 923-4876 1314 SW KALAMA, REDMOND, OR 97756 MIDDLE SCHOOL ATTENDANCE AREA ELTON GREGORY MIDDLE SCHOOL (541) 526-6440 1220 NW UPAS AVE, REDMOND, OR 97756 HIGH SCHOOL ATTENDANCE AREA REDMOND HIGH SCHOOL (541) 923-4800 675 SW RIMROCK, REDMOND, OR 97756 EDUCATION SERVICE TAX DISTRICT HIGH DESERT EDUCATION SERVICE DISTRICT (541) 693-5600 145 SE SALMON AVE, REDMOND, OR 97756 COLLEGE TAX DISTRICT CENTRAL OREGON COMMUNITY COLLEGE (541) 383-7700 2600 NW COLLEGE WAY, BEND, OR 97703 PARK & RECREATION DISTRICT REDMOND AREA PARK & RECREATION DISTRICT (541) 548-7275 465 SW RIMROCK DR, REDMOND, OR 97756 LIBRARY DISTRICT DESCHUTES PUBLIC LIBRARY (541) 617-7050 601 NW WALL ST, BEND, OR 97703
Providers
Deschutes County Property Information Report, page 3 (For Report Disclaimer see page 1)
Service
Please contact districts to confirm.

Development Summary

WATER SERVICE PROVIDER REDMOND WATER DEPARTMENT (541) 504-2000 423 E ANTLER AVE #100, REDMOND, OR 97756 LIVESTOCK DISTRICT DESCHUTES COUNTY LIVESTOCK DISTRICT NUMBER 6 (541) 388-6623 1300 NW WALL ST, BEND, OR 97703 IRRIGATION DISTRICT CENTRAL OREGON IRRIGATION DISTRICT (541) 548-6047 1055 SW LAKE CT, REDMOND, OR 97756 GARBAGE & RECYCLING SERVICE HIGH COUNTRY DISPOSAL (541) 548-4984 1090 NE HEMLOCK AVE, REDMOND, OR 97756 Jurisdiction City Zoning Description Redmond R4 GENERAL RESIDENTIAL - REDMOND UGB City of Redmond Permits Permit ID Permit Type Applicant Application Date Status 711-B64542 Building ANTHEM HOMES LLC 02/21/2007 Finaled 711-14-000707ELEC Electrical ROGERS, PENNY R 07/18/2014 Finaled 711-E95578 Electrical ANTHEM EQUITIES LLC 03/27/2007 Finaled 711-E95270 Electrical ANTHEM HOMES LLC 03/08/2007 Finaled 711-E95067 Electrical ANTHEM HOMES LLC 02/21/2007 Finaled 711-14-000706MECH Mechanical ROGERS, PENNY R 07/18/2014 Finaled 711-M38200 Mechanical ANTHEM HOMES LLC 02/21/2007 Finaled 711-P32206 Plumbing ANTHEM HOMES LLC 02/21/2007 Finaled 711-SW7889 Road Access ANTHEM HOMES LLC 02/21/2007 Expired
Planning Jursidiction: Urban Reserve Area: Urban Growth Boundary: Redmond No Redmond 711-B64542 Permit Number: ANTHEM HOMES LLC Permit Name: ANTHEM HOMES LLC Contractor: 02/21/2007 Application Date: 03/20/2007 Issue Date: 06/13/2007 Final Date: Finaled Status: Building Permit Details Residential Building Class: SFD: 1202 SF W/406 SF GAR**REISSUE** - IVR NUMBER = 711100023755 ~ IVR PHONE = 1-888299-2821 Class of Work: SFD: 1202 SF W/406 SF GAR**REISSUE** - IVR NUMBER = 711100023755 ~ IVR PHONE = 1-888299-2821 Building Use: 1608 Square Feet: 3 Bedrooms: 1 Stories: Y On Sewer: $99,342 Permit Valuation: Inspections Date Init. Comments 11/03/2008 JMA NO RESPONSE TO PC/EXPIRED SW PERMIT/RET'D FILE TO ARCHIVE ROOM 10/01/2008 JMA SENT PC TO CARTER @ ANTHEM HOMES THAT SW PERMIT IS STILL ACTIVE - PULLED FROM ARCHIVE FOR ACTIVE FILE 08/07/2007 AEG ALL PERMITS ARE FINALED EXCEPT SW - ARCHIVED 06/13/2007 RRN 1999 Final Building -- Insp Completed : Approved 04/30/2007 RRN 1430 Insulation Wall -- Insp Completed : Approved 04/25/2007 HCC 1530 Exterior Shearwall -- Insp Cancelled : Denied 03/26/2007 HCC 1120 Foundation -- Insp Completed : Approved 03/22/2007 HCC 1110 Footing -- Insp Completed : Approved 03/20/2007 JEC Per Review:Net Assets & Reimbursement Spreadsheet no outstanding City liens found 03/20/2007 JMA SPW CARTER/PERMIT READY FOR P/U AND AMT OWED 03/14/2007 JMA RCV'D FILE FROM MONA/FEES ENTERED/PENDING TAX LOT NUMBER FROM CNTY/FILE ON HOLD SHELF 03/13/2007 JMA ENTERED FEES/RET'D FILE TO MONA 03/13/2007 RFG RED MARKED SITE PLANS & APPROVED. SOLAR EXEMPT, NOT A NORTHERN LOT W/IN SUB. Permit Detail Deschutes County Property Information Report, page 4 (For Report Disclaimer see page 1)

03/13/2007 RFG SPK W/CARTER @ 541.815.6805: NORTH ARROW & LOCATION OF EASEMENTS ON SITE PLANS DOES NOT MATCH RECORDED SUB. PLAT.

03/12/2007 JMA RCV'D FILE FROM CDD/RA

03/09/2007 JWI FILE FORWARDED TO CDD/RA

03/09/2007 JWI R-3 1202 SF X $75.20 = $90,390/U-1 401 SF X $19.75 = $7,920/PORCH'S 80 SF X $13.53 = $1082/TOTAL = $99,342

03/06/2007 JWI FILE RECEIVED AT CDD/RA

03/05/2007 RFG FORWARDED BLDG FILE TO JIM W @ CDD-RA. PLEASE RETURN BLDG FILE TO MONA AFTER STRUCTURAL PLAN REVIEW. THANK YOU

03/05/2007 RFG SITE PLANS PRE-APPROVED. PENDING ON RECORDED SUB. PLAT.

02/23/2007 JEC SUB:Morgan Rigging MUST obtain City licensed...All other listed contractors ARE licensed w/CIty

02/23/2007 JECJE C NOt tax/map info provided for review

711-14-000707-ELEC

ROGERS, PENNY R

DAVID KERCHER

Permit Number:
Permit Name: MATTHEW
Contractor: 07/18/2014 Application Date: 07/18/2014 Issue Date: 08/06/2014 Final Date: Finaled Status: Residential Building Class: New - Single Family Dwelling Class of Work: INSTALL A/C UNIT. Building Use: Linked Permit: Electrical Permit Details Service Description: Limited or restricted energy Branch circuits without service or feeder Inspections Date Init. Comments 08/06/2014 Dale 4999 Final Electrical -- Insp Completed : Approved 711-E95578 Permit Number: ANTHEM EQUITIES LLC Permit Name: ANTHEM EQUITIES LLC Contractor: 03/27/2007 Application Date: 03/27/2007 Issue Date: 06/08/2007 Final Date: Finaled Status: Residential Building Class: SFD: 1202 SF W/406 SF GAR**REISSUE**
IVR NUMBER =
Class of Work: SFD:
Building Use: Linked Permit: Electrical Permit Details Service Description: Inspections Date Init. Comments 06/08/2007 GTJ 4999 Final Electrical -- Insp Completed : Approved 06/07/2007 GTJ 4999 Final Electrical**SEE CORRECTION NOTICE AT JOB SITE 1. 20 AMP RATED RECEPTACLE REQUIRED AT MICROWAVE 210.21 & 210.23. 2. UNABLE TO LOCATE SWITCHED OUTLET IN LIVING ROOM 210.52-210.70. 3. COMPLETE DISHWASHER TERMINATIONS. -- Insp Cancelled : Denied 04/23/2007 GTJ 4500 Rough Electrical -- Insp Completed : Approved 04/18/2007 AEG LABEL 26294 REPLACES 26204 711-E95270 Permit Number: ANTHEM HOMES LLC Permit Name: ANTHEM HOMES LLC Contractor: 03/08/2007 Application Date: 03/09/2007 Issue Date: 03/22/2007 Final Date: Finaled Status: Residential Building Class: TEMP SERVICE - IVR NUMBER = 711100023967 ~ IVR PHONE = 1-888-299-2821 Class of Work: TEMP SERVICE Building Use: Linked Permit: Electrical Permit Details Deschutes County Property Information Report, page 5 (For Report Disclaimer see page 1)
-
711100024181 ~ IVR PHONE = 1-888-299-2821
1202 SF W/406 SF GAR**REISSUE**

GTJ 4000 Temporary Power Service -- Insp Completed : Approved

PMT DISCUSSED W/GARY ADV SUSPENDING PERMIT BECAUSE THIS PERMIT IS FOR A LOT THAT THE PLAT HAS NOT RECORDED FOR THIS SUB,TRIED TO CALL THE CONTRACTOR TO ADV & RECEIVED A MESSAGE THAT SAID THIS NEXTEL # IS NOT AVAILABLE AT THIS TIME. 03/13/2007 RFG RE-ACTIVATED TEMP SERVICE PERMIT SINCE WE JUST RCVD OUR (5) COPIES OF RECORDED PLAT.

711-E95067

HOMES LLC

Building Class: LOW VOLT: PHONE,GAR DOOR OPENER - IVR NUMBER = 711100023739 ~ IVR PHONE = 1-888-299-2821

711-14-000706-MECH

711-M38200

MP 03-81 SFD: 1202 SF W/406 SF GAR - IVR

= 711100023744 ~ IVR PHONE = 1-888-299-2821

DOOR OPENER

Service
Inspections Date Init. Comments 03/22/2007
Description:
03/13/2007
Permit Number: ANTHEM
Permit Name: ANTHEM
Contractor: 02/21/2007 Application Date: 03/20/2007 Issue Date: 06/07/2007 Final Date: Finaled Status: Residential
Class
Building
Electrical
Service Description: Inspections Date Init. Comments 06/07/2007 GTJ 4999 Final Electrical -- Insp Completed : Approved 04/23/2007 GTJ 4500 Rough Electrical -- Insp Cancelled : Information Only
HOMES LLC
of Work: LOW VOLT: PHONE,GAR
Use: Linked Permit:
Permit Details
Permit Number: ROGERS,
Permit Name: MOUNTAIN VIEW HEATING INC Contractor: 07/18/2014 Application Date: 07/18/2014 Issue Date: 08/06/2014 Final Date: Finaled Status: Residential Building Class: New - Single Family Dwelling Class of Work: Building Use: Linked Permit: Mechanical Permit Details Service Description: Air conditioner Inspections No
PENNY R
inspection records found.
Permit Number: ANTHEM
Permit Name: ANTHEM HOMES LLC Contractor: 02/21/2007 Application Date: 03/20/2007 Issue Date: 06/13/2007 Final Date: Finaled Status: Residential Building
Class
Building
Mechanical
Service
Deschutes County Property Information Report, page 6 (For Report Disclaimer see page 1)
HOMES LLC
Class: REISSUE:
NUMBER
of Work:
Use: Linked Permit:
Permit Details
Description:

Inspections

No inspection records found.

711-P32206 Permit Number: ANTHEM HOMES LLC Permit Name: ANTHEM HOMES LLC Contractor: 02/21/2007 Application Date: 03/20/2007 Issue Date: 06/13/2007 Final Date: Finaled Status: Residential Building Class: REISSUE: MP 03-81 SFD: 1202 SF W/406 SF GAR - IVR NUMBER = 711100023765 ~ IVR PHONE = 1-888-299-2821 Class of Work: Linked Permit: Plumbing Permit Details Service Description: Inspections Date Init. Comments 06/13/2007 RRN 3999 Final Plumbing -- Insp Completed : Approved 04/27/2007 RRN 3500 Rough Plumbing -- Insp Completed : Approved 04/26/2007 RRN 3500 Rough Plumbing -- Insp Cancelled : Denied 04/25/2007 HCC 3500 Rough Plumbing -- Insp Cancelled : Denied 04/03/2007 HCC 3170 Underfloor Plumbing -- Insp Completed : Approved 03/29/2007 HCC 3200 Sanitary Sewer -- Insp Completed : Approved 03/29/2007 HCC 3315 Water Line -- Insp Completed : Approved 711-SW7889 Permit Number: MORGAN RIGGING & CONSTRUCTION CO Permit Name: ANTHEM HOMES LLC Owner: 02/21/2007 Application Date: 03/20/2007 Issue Date: Final Date: Expired Status: Residential Building Class: Old Sidewalk Class of Work: Road Access Permit Details Old Sidewalk Access Type: Surface Type: Cross Street: Distance to Cross Street: 002 06 7 101 -- RESIDENTIAL Neighborhood: Study Area: Maintenance Area: Property Class: Subdivision: VILLAGE POINTE PHASES 4-7 Lot: 97 Block: Legal Description: Assessor's Office Supplemental Information Deschutes County Property Information Report, page 7 (For Report Disclaimer see page 1)

STATEMENT OF TAX ACCOUNT

2022 ADVALOREM $0.00 $0.00 $0.00 $0.00 $2,536.55 Nov 15, 2022 2021 ADVALOREM $0.00 $0.00 $0.00 $0.00 $2,379.16 Nov 15, 2021 2020 ADVALOREM $0.00 $0.00 $0.00 $0.00 $2,271.65 Nov 15, 2020 2019 ADVALOREM $0.00 $0.00 $0.00 $0.00 $2,172.48 Nov 15, 2019 2018 ADVALOREM $0.00 $0.00 $0.00 $0.00 $2,118.54 Nov 15, 2018 2017 ADVALOREM $0.00 $0.00 $0.00 $0.00 $2,068.28 Nov 15, 2017 2016 ADVALOREM $0.00 $0.00 $0.00 $0.00 $2,039.83 Nov 15, 2016 2015 ADVALOREM $0.00 $0.00 $0.00 $0.00 $1,977.47 Nov 15, 2015 2014 ADVALOREM $0.00 $0.00 $0.00 $0.00 $1,925.47 Nov 15, 2014 2013 ADVALOREM $0.00 $0.00 $0.00 $0.00 $1,871.64 Nov 15, 2013 2012 ADVALOREM $0.00 $0.00 $0.00 $0.00 $1,706.35 Nov 15, 2012 2011 ADVALOREM $0.00 $0.00 $0.00 $0.00 $1,722.61 Nov 15, 2011 2010 ADVALOREM $0.00 $0.00 $0.00 $0.00 $1,810.27 Nov 15, 2010 2009 ADVALOREM $0.00 $0.00 $0.00 $0.00 $1,782.22 Nov 15, 2009 2008 ADVALOREM $0.00 $0.00 $0.00 $0.00 $1,590.44 Nov 15, 2008 2007 ADVALOREM $0.00 $0.00 $0.00 $0.00 $281.07 Nov 15, 2007
DESCHUTES COUNTY TAX COLLECTOR DESCHUTES SERVICES BUILDING BEND OR 97703 (541) 388-6540 NASH FAMILY TRUST NASH, RANDALL S & KATHY TTEES 3149 SW ANTLER LN REDMOND OR 97756 26-May-2023 256760 Tax Account # Account Status Roll Type Situs Address A Real 3149 SW ANTLER LN REDMOND 97756 CLG - BSI Financial Tax Summary Tax Year Tax Type Total Due Current Due Interest Due Discount Available Original Due Due Date 2001 May 26, 2023 Lender Name Loan Number Property ID Interest To $0.00 $0.00 $0.00 $0.00 Total Deschutes County Property Information Report, page 8 (For Report Disclaimer see page 1)

REAL PROPERTY TAX STATEMENT

JULY 1, 2022 TO JUNE 30, 2023

DESCHUTES COUNTY, OREGON - 1300 NW WALL ST STE 203, BEND, OR 97703

TAX BY DISTRICT

TAX ACCOUNT: 256760

NASH FAMILY TRUST

NASH, RANDALL S & KATHY TTEES

3149 SW ANTLER LN REDMOND OR 97756

PROPERTY DESCRIPTION

SITUS ADDRESS: MAP: 101 CLASS: 151317-BB-09000

3149 SW ANTLER LN REDMOND

LEGAL:

CODE: 2001 VALUES:

VILLAGE POINTE PHASES 4-7 97

MARKET (RMV)

This is your copy and not a bill if your mortgage company is responsible for paying your taxes. This statement was sent to: BSI Financial

Full Payment with 3% Discount

Discount is lost after due date and interest may apply PAYMENT OPTIONS:

* Online

* By Mail to Deschutes County Tax, PO Box 7559 Bend OR 97708-7559

* Drop Box located at 1300 NW Wall Street, Bend or 411 SW 9th Street, Redmond

* In

Please include this coupon with payment. Please do not staple, paper clip or tape your payment.

Please select payment option

Full Payment (3% Discount)

No Additional Payment Due

Two-Thirds Payment (2% Discount)

Next Payment Due

One-Third Payment (No Discount)

Next Payment Due

Payment Due November 15, 2022

TAX ACCOUNT: 256760

(Mailing address change form on reverse)

THIS IS NOT A BILL IF LENDER IS SCHEDULED TO PAY

REAL
LAND STRUCTURES TOTAL RMV TOTAL ASSESSED VALUE VETERAN'S EXEMPTION NET TAXABLE: TOTAL PROPERTY TAX: LAST YEAR THIS YEAR 111,000 187,700 298,700 187,500 176,960 364,460 128,550 0 128,550 2,379.16 132,400 0 132,400 2,536.55
TAX QUESTIONS ASSESSMENT QUESTIONS (541) 388-6540 (541) 388-6508 $2,460.45
05/15/23 02/15/23 $845.52 $1,657.21 $2,460.45
NASH FAMILY TRUST NASH, RANDALL S & KATHY TTEES 3149 SW ANTLER LN REDMOND OR 97756 Deschutes County Tax Collector PO Box 7559 Bend OR 97708-7559 09100002567600000084552000016572100002460459 132,400 128,550 MAXIMUM ASSESSED VALUE
Change my Mailing Address
SCHOOL DISTRICT #2J 616.90 C O C C 76.17 HIGH DESERT ESD 11.85 EDUCATION TOTAL: 704.92 DESCHUTES COUNTY 149.57 COUNTY LIBRARY 67.54 COUNTYWIDE LAW ENFORCEMENT 128.92 COUNTY EXTENSION/4H 2.77 9-1-1 44.42 CITY OF REDMOND 541.40 REDMOND DWNTWN URBAN RENEWAL 126.96 REDMOND SOUTH 97 URBAN RENEWAL 22.11 REDMOND FIRE & RESCUE 215.36 REDMOND FIRE & RESCUE LOCAL OPTION 35.75 REDMOND AREA PARK & REC DISTRICT 45.64 GENERAL GOVT TOTAL: 1,380.44 COUNTY LIBRARY BOND 44.67 CITY OF REDMOND BOND 2022 95.75 SCHOOL #2J BOND 2004 99.33 SCHOOL #2J BOND 2008 170.40 SCHOOL #2J BOND 2021 30.88 C O C C BOND 10.16 BONDS - OTHER TOTAL: 451.19 Deschutes County Property Information Report, page 9 (For Report Disclaimer see page 1)
Person 1300 NW Wall Street, Ste 203, Bend (2nd Floor) For Property Information: dial.deschutes.org www.deschutes.org/tax
Deschutes County Property Information Report, page 10 (For Report Disclaimer see page 1)
De sc h u te s C o u n ty GIS De sc hu t es Cou nt y P rop er t y I nf orm at i on - Di al
Map and Ta x l ot: 151 31 7B B 09000 Deschutes County Property Information Report, page 11 (For Report Disclaimer see page 1)
Roa d Map

AerialMap

ParcelID:256760

TaxAccount#:151317BB09000

3149SWAntlerLn, RedmondOR97756

Thismap/platisbeingfurnishedasanaidinlocatingtheherein describedlandinrelationtoadjoiningstreets,naturalboundariesand otherland,andisnotasurveyofthelanddepictedExcepttotheextent apolicyoftitleinsuranceisexpresslymodifiedbyendorsement,ifany, thecompanydoesnotinsuredimensions,distances,locationof easements,acreageorothermattersshownthereon

AssessorMap

ParcelID:256760

TaxAccount#:151317BB09000

3149SWAntlerLn, RedmondOR97756

Thismap/platisbeingfurnishedasanaidinlocatingtheherein describedlandinrelationtoadjoiningstreets,naturalboundariesand otherland,andisnotasurveyofthelanddepictedExcepttotheextent apolicyoftitleinsuranceisexpresslymodifiedbyendorsement,ifany, thecompanydoesnotinsuredimensions,distances,locationof easements,acreageorothermattersshownthereon

Covenants, Conditions and Restrictions

Clink the Hyperlink on the next page to view Electronically

Property Maps

Aerial Map 31 4 9 SW AN TL ER L N BEND LA P INE SISTER S RED MON D SUN RIVE R ¬ « 20 ¬ « 97 ¬ 126 ¬ 20 ¬ 20 ¬ « 97 Map D ata is deemed reliable but not guaranteed Deschutes County Title accepts no responsibility for accuracy 0 60 120 30 Fee t I 151317-BB -09000
Redmond UGB Urban G rowth B oundary Map 31 4 9 SW AN TL ER L N BEND LA P INE SISTER S RED MON D SUN RIVE R ¬ « 20 ¬ « 97 ¬ 126 ¬ 20 ¬ 20 ¬ « 97 Map D ata is deemed reliable but not guaranteed Deschutes County Title accepts no responsibility for accuracy 0 4,500 9,000 2,250 Fee t I 151317-BB -09000
Centr al Or ego n Irr ig atio n District Irrigation D istric t Map 31 4 9 SW AN TL ER L N BEND LA P INE SISTER S RED MON D SUN RIVE R ¬ « 20 ¬ « 97 ¬ 126 ¬ 20 ¬ 20 ¬ « 97 Map D ata is deemed reliable but not guaranteed Deschutes County Title accepts no responsibility for accuracy 0 820 1,640 410 Fee t
151317-BB -09000
I
Red mo nd RFP D Stat ion #403 St Ch arles Medical Center - Redmond Red mo nd RFP D Stat ion #401 Red mo nd RFP D Stat ion #404 Red mo nd Police Dep artment Emergenc y Ser vic es Map 31 4 9 SW AN TL ER L N BEND LA P INE SISTER S RED MON D SUN RIVE R ¬ « 20 ¬ « 97 ¬ 126 ¬ 20 ¬ 20 ¬ « 97 Map D ata is deemed reliable but not guaranteed Deschutes County Title accepts no responsibility for accuracy 0 3,700 7,400 1,850 Fee t I 151317-BB -09000
Rai lroad M ap 31 4 9 SW AN TL ER L N BEND LA P INE SISTER S RED MON D SUN RIVE R ¬ « 20 ¬ « 97 ¬ 126 ¬ 20 ¬ 20 ¬ « 97 Map D ata is deemed reliable but not guaranteed Deschutes County Title accepts no responsibility for accuracy 0 3,100 6,200 1,550 Fee t I 151317-BB -09000
C-5-8 -C9-2 C54 C-16 C-15-1 C-15-1a C-15-1b C-5-6-1 C-17 C-8-2 C-8-3 C-8 C1 61 Pb 2: C-5-7 Pb 2: C-5-5 C18 C-8-4 C-5-6 Na B-73 Pb 2: C-5-9 Pb 2: C-6 Pb 2: C-9 Pb 2: C-19 C-5-3 Pb 2: C-8 Pb 2: C-5 CLat Water Course Map 31 4 9 SW AN TL ER L N BEND LA P INE SISTER S RED MON D SUN RIVE R ¬ « 20 ¬ « 97 ¬ 126 ¬ 20 ¬ 20 ¬ « 97 Map D ata is deemed reliable but not guaranteed Deschutes County Title accepts no responsibility for accuracy 0 610 1,220 305 Fee t I
151317-BB -09000
Cascade Swim Center Dry Canyon Trail Fairhaven Park Kiwanis Field Spudbowl Park Sam Johnson Park Skate Park Bowlby Park American Legion Community Park Hayden Park Baker Park Canyon Rim Park Kalama Park Weigand Family Dog Park Hathaway Park Parks Map 31 4 9 SW AN TL ER L N BEND LA P INE SISTER S RED MON D SUN RIVE R ¬ « 20 ¬ « 97 ¬ 126 ¬ 20 ¬ 20 ¬ « 97 Map D ata is deemed reliable but not guaranteed Deschutes County Title accepts no responsibility for accuracy 0 1,600 3,200 800 Fee t I 151317-BB -09000
Missing Link Fa mily Golf Cente r Ea gle C rest Reso rt Co ur se Ea gle C rest Rid ge Co urs e The G reen s At Re dmo nd Jun ip er Golf Cou rse Jack Nicklaus Sign atu re Cou rse At Pro ng ho rn Ea gle C rest Challeng e Cou rse Pr on gh orn Golf Clu b Tom Fazio Cou rse At Pr on gh orn Golf Course Map 31 4 9 SW AN TL ER L N BEND LA P INE SISTER S RED MON D SUN RIVE R ¬ « 20 ¬ « 97 ¬ 126 ¬ 20 ¬ 20 ¬ « 97 Map D ata is deemed reliable but not guaranteed Deschutes County Title accepts no responsibility for accuracy 0 6,800 13,600 3,400 Fee t I 151317-BB -09000
Field ston e Cros sin g P.u.d. Ph ases Iii An d Iv Villa ge Po in te Ph ases 4 -7 Deer Cro ssing Ph ase 1 Villa ge Pointe Ph ases 2 & 3 Villa ge Po in te Ph ase 1 Antler Rid ge Ph ase 2 Hawley Es ta tes Se go Estates, Pha se 1 711-18 -0 00117-s ub 711-20-000 109-p ln g-e Subdiv is ions M ap 31 4 9 SW AN TL ER L N BEND LA P INE SISTER S RED MON D SUN RIVE R ¬ « 20 ¬ « 97 ¬ 126 ¬ 20 ¬ 20 ¬ « 97 Map D ata is deemed reliable but not guaranteed Deschutes County Title accepts no responsibility for accuracy 0 180 360 90 Fee t I 151317-BB -09000

ZoningMap

ParcelID:256760

TaxAccount#:151317BB09000

3149SWAntlerLn, RedmondOR97756

Thismap/platisbeingfurnishedasanaidinlocatingtheherein describedlandinrelationtoadjoiningstreets,naturalboundariesand otherland,andisnotasurveyofthelanddepictedExcepttotheextent apolicyoftitleinsuranceisexpresslymodifiedbyendorsement,ifany, thecompanydoesnotinsuredimensions,distances,locationof easements,acreageorothermattersshownthereon

Community Services

------
----------

Schools Report

SubjectParcel SiteAddress 3149SWAntlerLn RedmondOR97756 Parcel 256760 SchoolDistrict 2JRedmond AssignedPrimarySchool MALynchElementarySchool AssignedMiddleSchool EltonGregoryMiddleSchool AssignedHighSchool RedmondHighSchool DeschutesCounty ReportDetail QueryDistanceFromParcel 1miles SchoolsInQuery 7 PrimarySchool HughHartmanElementary RedmondEarlyLearning CenterAtHughHartman VernPatrickElementary School MALynchElementarySchool MiddleSchool Coic-Redmond EltonGregoryMiddleSchool HighSchool RedmondHighSchool OtherSchool Coic-Redmond SchoolMap
SchoolReport
SiteAddress 2326SWGlacierPl City Redmond Zip 97756 Type Students 13 Charter Magnet Title1Elig Title1 Free/Reduced Lunch FTETeachers Count Student/Teacher Ratio GradeLevelsMale Female Hispanic 2 White 11 Black 0 Am Indian 0 Asian/PacificIsl. 0 School#2 SchoolDistrict RedmondSD2J DistFromSubject069miles School HughHartmanElementary SiteAddress 2105WAntlerAve City Redmond Zip 97756 Type 1-Regularschool Students 321 Charter No Magnet Title1Elig 1-Yes Title1 2-TitleItargetedassistanceschool Free/Reduced Lunch FTETeachers Count 2146 Student/Teacher Ratio 1496 GradeLevels Kindergarten-4thGrade Male 144 Female 177 Hispanic 158 White 148 Black 0 Am.Indian 0 Asian/PacificIsl 0 School#3
DistFromSubject
School RedmondEarlyLearningCenterAtHugh Hartman SiteAddress 2105WAntler City Redmond Zip 97756 Type 1-Regularschool Students Charter Magnet Title1Elig Title1 Free/Reduced Lunch 194 FTETeachers Count Student/Teacher Ratio GradeLevels Prekindergarten-Kindergarten Male Female Hispanic White Black Am Indian Asian/PacificIsl.
School#1 SchoolDistrict DistFromSubject068miles School Coic-Redmond
SchoolDistrict
069miles

School#4

SchoolDistrict RedmondSD2J

DistFromSubject075miles School RedmondHighSchool

094miles

SiteAddress
City
Type
Students
Charter
Magnet Title1Elig 2-No Title1 6-NotaTitleIschool Free/Reduced Lunch FTETeachers Count 4354 Student/Teacher Ratio 2056 GradeLevels 9thGrade-12thGrade Male 502 Female 391 Hispanic 197 White 634 Black 3 Am Indian 11 Asian/PacificIsl. 6 School#5
DistFromSubject
School
SiteAddress
City
Zip
Type 1-Regularschool Students 354 Charter No Magnet Title1Elig 1-Yes Title1 5-TitleIschoolwideschool Free/Reduced Lunch FTETeachers Count 2247 Student/Teacher Ratio 1575 GradeLevels Kindergarten-5thGrade Male 187 Female 167 Hispanic 94 White 243 Black 1 Am.Indian 0 Asian/PacificIsl 1 School#6 SchoolDistrict RedmondSD2J DistFromSubject
School MALynchElementarySchool SiteAddress 1314SWKalamaAve City Redmond Zip
Type 1-Regularschool Students
Charter No Magnet Title1Elig 1-Yes Title1 5-TitleIschoolwideschool Free/Reduced Lunch FTETeachers Count 2100 Student/Teacher Ratio 1524 GradeLevels Kindergarten-5thGrade Male 161 Female 159 Hispanic 77 White 218 Black 4 Am.Indian 2 Asian/PacificIsl. 1
675SWRimrockDr
Redmond Zip 97756
1-Regularschool
895
No
SchoolDistrict RedmondSD2J
VernPatrickElementarySchool
3001SWObsidian
Redmond
97756
135miles
97756
320

School#7

SchoolDistrict RedmondSD2J

School EltonGregoryMiddleSchool

DistFromSubject228miles

SiteAddress 1220NWUpasAve

City Redmond Zip 97756

Type 1-Regularschool Students 688

Title1Elig 2-No Title1 6-NotaTitleIschool

3455

Charter No Magnet
Free/Reduced Lunch
Count
Student/Teacher Ratio
GradeLevels
Male
Female
Hispanic
White 505 Black 3 Am Indian 5 Asian/PacificIsl. 8
FTETeachers
1991
6thGrade-8thGrade
335
352
141

OREGON AT-A-GLANCE SCHOOL PROFILE

M A Lynch Elementary School

PRINCIPAL: Rayna Nordstrom | GRADES: K-5 | 1314 SW Kalama Ave, Redmond 97756 | 541-923-4876

Academic Progress

2021-22

REGULAR ATTENDERS

Students who attended more than 90% of their enrolled school days.

INDIVIDUAL STUDENT PROGRESS

Year-to-year progress in English language arts and mathematics.

Academic Success

ENGLISH LANGUAGE

MATHEMATICS

Students meeting state grade-level expectations. 25% Oregon average 36%

School Goals

1. To empower every student to learn, grow and succeed academically, emotionally and socially.

2. To create and foster strong partnerships with our families and community.

3. For every student to achieve a 95% attendance rate.

4. To create a strong culture in which ALL feel welcomed and valued.

State Goals

The Oregon Department of Education is partnering with school districts and local communities to ensure a 90% ontime, four year graduation rate by 2025. To progress toward this goal, the state will prioritize efforts to improve attendance, provide a well-rounded education, invest in implementing culturally responsive practices, and promote continuous improvement to close opportunity and achievement gaps for historically and currently underserved students.

Data not available in 2021-22

SCIENCE

Students meeting state grade-level expectations. 26% Oregon average 31%

Safe & Welcoming Environment

It is our priority that all RSD students and families feel safe, welcome and included. Our students are entitled to academic success regardless of background or family circumstances, and each student will be provided the necessary support to ensure success. We are committed to sustaining an inclusive and culturally responsive school culture/climate for all students, families and staff. We ensure safe schools through prevention, intervention, behavioral-emotional health and crisis preparedness.

Students We Serve Student Enrollment 332 DEMOGRAPHICS American
Native Students 1% Teachers 0% Asian Students <1% Teachers 0% Black/African American Students 1% Teachers 0% Hispanic/Latino Students 23% Teachers 4% Multiracial Students 6% Teachers 4% Native Hawaiian/Pacific Islander Students 1% Teachers 0% White Students 69% Teachers 91% Ever English Learners 11%
3 Students
15%
Lunch
*<10 students or data unavailable
Environment CLASS SIZE Median
size. 23 Oregon average 22
Indian/Alaska
Languages Spoken
with Disabilities
Required Childhood Vaccinations 96% Free/ Reduced Price
>95%
School
class
62% Oregon average 64%
Students
grade-level expectations. 35% Oregon average 44%
ARTS
meeting state
School Website: lynch.redmondschools.org Eligibility for Free/Reduced Price Lunch expanded in 2020-21, for more information please visit:
www.oregon.gov/ode/schools-and-districts/reportcards/reportcards/Pages/Accountability-Measures.aspx

Yes

M A Lynch Elementary School

Outcomes

REGULAR ATTENDERS

ENGLISH LANGUAGE ARTS

MATHEMATICS

About Our School

BULLYING, HARASSMENT, AND SAFETY POLICIES

RSD considers the safety of children our greatest priority. Everyone is welcome in school and we recognize the diversity and worth of all. We ensure physically and psychologically safe, secure and orderly learning environments. Elementary schools use the Positive Behavior-Intervention Support system to provide proactive instruction and student need-based tiered supports. Full-time counselors provide whole and small group and individual support for bullying prevention. RSD uses SafeOregon to report unsafe behavior and follows all policies outlined in our Rights & Responsibilities Handbook.

EXTRACURRICULAR ACTIVITIES

· PTO-sponsored Family Fun Nights

· Fritters 4 Families

· Garden Club

· Chess for Success

· Code Warriors Club

· Battle of the Books

· Yearbook Club

· Music and Movement Club

· Engineering Club

· Lunch time Sports - 5th grade

PARENT ENGAGEMENT

· Parent Universities (3 year)

· Grade level Family Nights (Reading, Math focus)

· Lynch Lion Pride - PTO Sponsored Events

· Fritters 4 Families - every other month

· Monthly Coffee Chat w/ the Principal

· Fireflies Book Giveaway

· Monster Dash

· Back To School Night

· Science Inquiry Night

· Celebration of Learning (end of year)

· Kinder and 5th Grade Celebrations (end of year)

· December Sing-a-long

COMMUNITY ENGAGEMENT

We have several community partners that support our students and families.

· Mosaic Medical

· Headstart

· Cook’s Crossing

· Champions Before/After School Club

· Assistance League of Bend

· Grace Bible Church

· Oregon State University

· Starbucks on Veterans Way

· Deschutes County Behavioral Health

· Young Audiences

· Fireflies

· FoodCorps Volunteer - on site weekly

· Youth Development Division - ODE

OREGON AT-A-GLANCE SCHOOL PROFILE CONTINUED 2021-22
FTE)
Teachers
Educational assistants
Counselors/ Psychologists Average teacher retention rate
% of licensed teachers
Our Staff (rounded
21
10
2
84%
with more than 3 years of experience 86% Same principal in the last 3 years
American Indian/Alaska Native <10 students or data unavailable Asian <10 students or data unavailable Black/African American <10 students or data unavailable Hispanic/Latino 62% Multiracial 77% Native Hawaiian/Pacific Islander <10 students or data unavailable White 61% Free/Reduced Price Lunch 62% Ever English Learner 56% Students with Disabilities 60% Migrant <10 students or data unavailable Homeless 29% Students in Foster Care <10 students or data unavailable Talented and Gifted <10 students or data unavailable Female 59% Male 64% Non-Binary <10 students or data unavailable
<10 students or data unavailable <10 students or data unavailable <10 students or data unavailable 22% 55% <10 students or data unavailable 39% 35% 20% 5% <10 students or data unavailable <10 students or data unavailable <10 students or data unavailable <10 students or data unavailable 37% 32% <10 students or data unavailable
<10 students or data unavailable <10 students or data unavailable <10 students or data unavailable 5% 46% <10 students or data unavailable 31% 25% <5% <5% <10 students or data unavailable <10 students or data unavailable <10 students or data unavailable <10 students or data unavailable 21% 30% <10 students or data unavailable
Data are suppressed to protect confidential student information. For more information please visit: www.oregon.gov/ode/schools-and-districts/reportcards/reportcards/Pages/Accountability-Measures.aspx

OREGON AT-A-GLANCE SCHOOL PROFILE

Elton Gregory Middle School

PRINCIPAL: Justin Nicklous | GRADES: 6-8 | 1220 NW Upas Ave, Redmond 97756 | 541-526-6440

REGULAR ATTENDERS

Students who attended more than 90% of their enrolled school days.

2021-22

Academic Progress

INDIVIDUAL STUDENT PROGRESS

Year-to-year progress in English language arts and mathematics.

Academic Success

ENGLISH LANGUAGE

MATHEMATICS

Students meeting state grade-level expectations. 24% Oregon average 28%

School Goals

Our goal at EGMS is to ensure all students feel Safe, Welcome and are Learners. We’ll strive to ensure our students are prepared to be successful in high school and ultimately college and career ready. We work to achieve this goal by:

· Creating genuine relationships to inspire growth and achievement.

· Support students to thrive emotionally, socially, and academically.

· Educate the whole child through rigorous and engaging lessons, electives and social and emotional guidance.

State Goals

The Oregon Department of Education is partnering with school districts and local communities to ensure a 90% ontime, four year graduation rate by 2025. To progress toward this goal, the state will prioritize efforts to improve attendance, provide a well-rounded education, invest in implementing culturally responsive practices, and promote continuous improvement to close opportunity and achievement gaps for historically and currently underserved students.

Data not available in 2021-22

SCIENCE

Students meeting state grade-level expectations.

17% Oregon average 28%

Safe & Welcoming Environment

It is our priority that all RSD students and families feel safe, welcome and included. Our students are entitled to academic success regardless of background or family circumstances, and each student will be provided the necessary support to ensure success. We are committed to sustaining an inclusive and culturally responsive school culture/climate for all students, families and staff. We ensure safe schools through prevention, intervention, behavioral-emotional health and crisis preparedness.

Students We Serve Student Enrollment 669 DEMOGRAPHICS American Indian/Alaska Native Students 1% Teachers 0% Asian Students 1% Teachers 0% Black/African American Students <1% Teachers 0% Hispanic/Latino Students 21% Teachers 5% Multiracial Students 3% Teachers 0% Native Hawaiian/Pacific Islander Students <1% Teachers 0% White Students 74% Teachers 95% Ever English Learners 13% Languages Spoken 7 Students
Disabilities 14%
Childhood Vaccinations 93% Free/
Price Lunch >95% *<10 students or data unavailable School Environment CLASS SIZE Median
size. 26 Oregon average 22
with
Required
Reduced
class
68% Oregon average 64%
ARTS Students
grade-level expectations. 38% Oregon average 44%
meeting state
School Website: egms.redmondschools.org Eligibility for Free/Reduced Price Lunch expanded in 2020-21, for more information please visit: www.oregon.gov/ode/schools-and-districts/reportcards/reportcards/Pages/Accountability-Measures.aspx

Our Staff (rounded FTE)

35

Elton Gregory Middle School

Outcomes

REGULAR ATTENDERS

ENGLISH LANGUAGE ARTS

MATHEMATICS

94%

About Our School

BULLYING, HARASSMENT, AND SAFETY POLICIES

EXTRACURRICULAR ACTIVITIES

PARENT ENGAGEMENT

COMMUNITY ENGAGEMENT

No

RSD considers the safety of children our greatest priority. Everyone is welcome in school and we recognize the diversity and worth of all. We ensure physically and psychologically safe, secure and orderly learning environments. Secondary schools provide proactive instruction and student need-based tiered supports. It is our goal to create a respectful and welcoming school culture for students to thrive in. Full-time counselors and deans provide support for bullying prevention. RSD uses SafeOregon to report unsafe behavior and follows all policies outlined in our Rights & Responsibilities Handbook.

At EGMS we believe extracurricular activities are part of educating the whole child and teach skills that support a student’s academic and social/emotional growth.

· Sports offered at EGMS: football, volleyball, cross country, basketball, wrestling, track, soccer & golf

· Band

· Chess Club

· Homework Club

· Mentor/Mentee program with McCall Elementary

A strong parent partnership is key in building a strong and healthy relationship between the school community and our students and families. We start by trying to connect with our families early in the year by contacting each family before the school year starts to see how we can best support each student.

Additional Parent Engagement Events & Opportunities

· Open House prior to school starting each fall

· AVID parent night

· Parent conferences

· Band concerts

· 5th Grade Parent Night & Orientation

· Family Bingo Night

· Science Fair

· Sporting Events

EGMS values partnerships with local businesses and community organizations to improve opportunities and experiences for our students.

· We support college and career readiness through AVID by staff wearing college or local business clothing/hats on Friday's.

· Community organizations are invited to attend each of the parent/family events.

· Oregon State University Engineering and Technology Field Trip.

· Band Concerts

· Sporting Events

· Science Fair

· Community businesses support our Family Bingo Night, 8th grade celebration and Field Day.

OREGON AT-A-GLANCE SCHOOL PROFILE CONTINUED 2021-22
Teachers
Educational assistants
Counselors/ Psychologists Average teacher retention rate
% of licensed teachers
7
4
with more than 3 years of experience 89% Same principal in the last 3 years
American Indian/Alaska Native <10 students or data unavailable Asian <10 students or data unavailable Black/African American <10 students or data unavailable Hispanic/Latino 71% Multiracial 75% Native Hawaiian/Pacific Islander <10 students or data unavailable White 67% Free/Reduced Price Lunch 68% Ever English Learner 73% Students with Disabilities 56% Migrant 62% Homeless 30% Students in Foster Care <10 students or data unavailable Talented and Gifted 93% Female 65% Male 73% Non-Binary <10 students or data unavailable
<10 students or data unavailable <10 students or data unavailable <10 students or data unavailable 24% 40% <10 students or data unavailable 41% 38% 15% 16% 9% <10 students or data unavailable <10 students or data unavailable 93% 41% 33% <10 students or data unavailable
<10 students or data unavailable <10 students or data unavailable <10 students or data unavailable 10% 50% <10 students or data unavailable 28% 24% <5% 12% <5% <10 students or data unavailable <10 students or data unavailable >95% 22% 27% <10 students or data unavailable
Data are suppressed to protect confidential student information. For more information please visit: www.oregon.gov/ode/schools-and-districts/reportcards/reportcards/Pages/Accountability-Measures.aspx

OREGON AT-A-GLANCE SCHOOL PROFILE

2021-22 Redmond High School

PRINCIPAL: Audrey Haugan | GRADES: 9-12 | 675 SW Rimrock Dr, Redmond 97756 | 541-923-4800

REGULAR ATTENDERS

Students who attended more than 90% of their enrolled school days.

Academic Progress ON-TRACK TO

Students earning one-quarter of graduation credits in their 9th grade year.

Academic Success

Students earning a diploma within four years. Cohort includes students who were first-time ninth graders in 2017-18 graduating in 2020-21

FIVE-YEAR COMPLETION

Students earning a high school diploma or GED within five years. Cohort Includes students who were firsttime ninth graders in 2016-17 finishing in 2020-21

COLLEGE GOING

Students enrolling in a two or four year college within 16 months of completing high school in 201920. Data from the National Student Clearinghouse.

School Goals

For 2022-2023, Redmond High School will:

- Increase our overall four-year graduation rate to 85%

- Increase our four year graduation rate of students in Special Education by 8% (to 72%)

- Implement the AVID College Readiness System with school-wide and targeted programming

- Increase the number of Freshmen who are on track to graduate at the end of their 9th grade year to 95%

88% Oregon average 88%

State Goals

The Oregon Department of Education is partnering with school districts and local communities to ensure a 90% ontime, four year graduation rate by 2025. To progress toward this goal, the state will prioritize efforts to improve attendance, provide a well-rounded education, invest in implementing culturally responsive practices, and promote continuous improvement to close opportunity and achievement gaps for historically and currently underserved students.

37% Oregon average 56%

Safe & Welcoming Environment

It is our priority that all RSD students and families feel safe, welcome and included. Our students are entitled to academic success regardless of background or family circumstances, and each student will be provided the necessary support to ensure success. We are committed to sustaining an inclusive and culturally responsive school culture/climate for all students, families and staff. We ensure safe schools through prevention, intervention, behavioral-emotional health and crisis preparedness.

Students We Serve Student Enrollment 801 DEMOGRAPHICS
Indian/Alaska Native Students 1% Teachers 0% Asian Students 1% Teachers 2% Black/African American Students <1% Teachers 0% Hispanic/Latino Students 23% Teachers 0% Multiracial Students 5% Teachers 0% Native Hawaiian/Pacific Islander Students <1% Teachers 0% White Students 70% Teachers 98% Ever English Learners 14% Languages Spoken 7 Students with Disabilities 14% Required Childhood Vaccinations 97% Free/ Reduced Price Lunch >95% *<10 students or data unavailable
Environment CLASS SIZE
26 Oregon average 22
American
School
Median size of classes in core subjects.
50% Oregon average 64%
GRADUATE
82% Oregon average 83%
GRADUATION
ON-TIME
80% Oregon average 81%
School Website: rhs.redmondschools.org Eligibility for Free/Reduced Price Lunch expanded in 2020-21, for more information please visit: www.oregon.gov/ode/schools-and-districts/reportcards/reportcards/Pages/Accountability-Measures.aspx

REGULAR ATTENDERS

ON-TRACK TO GRADUATE

ON-TIME GRADUATION

Coming in 2022-23

About Our School

ADVANCED COURSEWORK

Redmond High School offers a range of rigorous and college credit-earning coursework, including:

- College Now courses in CTE, Math, English, and History

- Advanced Placement Statistics, Calculus, Spanish, Biology, US History, Studio Art, Language and Composition, Literature and Composition, Chemistry, and Human Geography

- Expanded Options Program provides access to on campus college courses for students who qualify

- AVID Elective curriculum provides rigorous preparation for students to realize success in college level coursework grades 9-12.

CAREER & TECHNICAL EDUCATION

Redmond High School is proud of its robust CTE programs of study. We offer industryready training in the following Career Pathways:

- Automotive Technology

- Agriculture Science

- Business and Entrepreneurship

- Construction Technology

- Manufacturing and Engineering

- Computer Science

Redmond High School’s CTE instructors are industry experts, with strong connections to employers and higher education providers in the trades. Students in Career Pathways participate in internship and practicum placements with local employers, and have access to the latest in technology and equipment.

EXTRACURRICULAR ACTIVITIES

We offer an array of Co- and Extracurricular opportunities:

Athletics

- Fall - Cheerleading, Cross Country, Football, Soccer, Volleyball

- Winter - Cheerleading, Basketball, Swimming, Wrestling

- Spring - Baseball, Golf, Softball, Tennis, Track

We offer a range of co-curricular opportunities building confidence, character and connection to our school community. These include:

- Student Leadership

- Student Government

- Speech & Debate

- National Honor Society

- Thespian Club

- Skills USA

- JROTC

- Guitar Club

- Yearbook

- Future Farmers of America

- Choir

- Band

PARENT & COMMUNITY ENGAGEMENT

Our school partners with parents by hosting a variety of events and engagement opportunities including an open house, parent conferences, concerts, performances and athletic events.

Our school also values partnerships with local businesses and community organizations to improve opportunities for our students.

See our school website for a calendar of parent engagement events.

www.oregon.gov/ode/schools-and-districts/reportcards/reportcards/Pages/Accountability-Measures.aspx

OREGON AT-A-GLANCE SCHOOL PROFILE CONTINUED 2021-22 Redmond High School
Teachers
Educational assistants
Counselors/ Psychologists Average teacher retention rate
% of licensed teachers
Our Staff (rounded FTE) 44
6
5
87%
with more than 3 years of experience
85% Same principal in the last 3 years
Yes Outcomes
American Indian/Alaska Native <10 students or data unavailable Asian <10 students or data unavailable Black/African American <10 students or data unavailable Hispanic/Latino 48% Multiracial 37% Native Hawaiian/Pacific Islander <10 students or data unavailable White 51% Free/Reduced Price Lunch 50% Ever English Learner 43% Students with Disabilities 41% Migrant 30% Homeless 6% Students in Foster Care <10 students or data unavailable Talented and Gifted 87% Female 49% Male 50% Non-Binary <10 students or data unavailable
<10 students or data unavailable <10 students or data unavailable <10 students or data unavailable 67% <10 students or data unavailable <10 students or data unavailable 85% 82% 50% 77% <10 students or data unavailable <10 students or data unavailable <10 students or data unavailable <10 students or data unavailable 90% 76% <10 students or data unavailable
<10 students or data unavailable <10 students or data unavailable <10 students or data unavailable 83% 80% <10 students or data unavailable 79% 82% 90% 68% <10 students or data unavailable 37% <10 students or data unavailable <10 students or data unavailable 84% 79%
Data are suppressed to protect confidential student information. For more information please visit:

Places to Go & Things to Do

District at 388-5435.

Development Department of the Park & Recreation

trail concerns please call the Park Services and

& Recreation District. For questions or to report

River Trail are managed by the Bend Metro Park

The Bend Urban Trail System and the Deschutes

administered by the Bend Visitors and Convention Bureau.

www.bendparksandrec.org. Funding for this map provided by a City of Bend grant

Foundation to help build the river trail. For more information, see

DESCHUTES RIVER TRAILS SYSTEM

WELCOME TO THE DESCHUTES RIVER TRAIL!

or donating time or money to the Bend Park and Recreation

Bend Metro Park and Recreation District Adopt a Trail Program

Consider helping to maintain a section of trail through the

ADOPT A TRAIL PROGRAM

 No camping, smoking or fi res.

 Do not litter. If you pack it in, please pack it out.

disposal bags and trash cans.

removed. Dog “rest stops” along the trails provide you with

 Dogs must be on leash at all times and their waste properly

observe pedestrian-only trail sections.

 Bicyclists are not allowed on all sections of the trails. Please

 No motorized vehicles are allowed on the trails.

 Stay on the trail. Please don’t trespass on private property.

safe and pleasant for all users:

P ea s e o o w t h es e s m p e g u d e n es t o k e e p t h e t ai e x p e e n c e

TRAIL USE REGULATIONS

The Deschutes River Trail portion of the Bend Urban Trails System allows nearly uninterrupted access to the beautiful waterway that is the heart of the community. The trail system is divided into fi ve “reaches,” defined by landscape characteristics.

The Bend Park and Recreation District is at work building a fully connected river trail between Tumalo State Park and Meadow Camp. Once complete, the trail system will encompass nineteen miles of trails. This map shows existing trails open to the public.

AWBREY REACH

Visitors can access the River Trail at its northernmost point at Kirkaldy Court off of Putnam Rd. This section of the trail, constructed on top of the buried Tumalo irrigation canal, consists of soft-surface and unimproved surfaces, and includes a few moderate hills. Along the middle stretch of this reach, the river drops into a deep canyon but the trail stays high on the canyon wall, offering spectacular views of the river below and the Three Sisters in the distance. A steep climb up the Archie Briggs Canyon Trail connects to Mt. Washington Dr.

RIVER

RUN REACH

This section, favored by many locals, is also built over the Tumalo canal and was the first section of river trail to open in 1989. The surface is both soft-surface and unimproved, and is wide and relatively flat. The trail runs between the river and a high canyon wall, and passes through the River’s Edge golf course and adjacent neighborhoods. There are several wetlands in this reach, inhabited by songbirds, trumpeter swans, otter and beaver. Osprey frequently nest and fish here.

PIONEER REACH

This reach passes through the oldest and most established sections of Bend. The trail isn’t always right on the river, but instead follows sidewalks through neighborhoods and downtown. It passes through beautiful Drake Park on Mirror Pond and ends in McKay Park. There are several footbridges along the way offering opportunities to cross the river.

OLD MILL REACH

Once the site of two large ponderosa pine lumber mills, today the Old Mill Reach is a mix of river parks, the Shops at the Old Mill, and areas yet to be developed. Three footbridges connect trail legs on either side of the river, providing convenient walking loops. On the east side, the trails are hard surface from the Old Mill District to the Bill Healy bridge. The trail on the west side offers a mix of hard and soft surfaces. Farewell Bend Park provides two developed boat landings for paddlers using the Deschutes River water trail. The east side trail passes through Farewell Bend Park, which also provides two developed boat landings for paddlers using the Deschutes River water trail.

SOUTH CANYON REACH

This reach has trail legs on both sides of the river, connected by a new footbridge approximately 1 1/2 miles upstream of the Farewell Bend Park bridge. The river flows fast here through a beautiful canyon, cascading over rocks and logs.

West side: This reach’s west-side leg is known as the Mt. Bachelor Village Trail. Here the soft surface trail is open to pedestrians, but cyclists are not allowed. An alternative cycling route connects from the Bill Healy Bridge to the Haul Road Trail along Century Drive.

East side: The east-side trail at the northern end of this reach is unimproved surface, narrow and rocky in places; the southern end is on the gravel ditch road which runs above the river and next to the COID siphon pipe. There are several connections to nearby neighborhoods along the way.

DESCHUTES RIVER FLOWS SOUTH TO NORTH

Discover natural landscapes, wildlife, and scenic byways. Discover exceptional places to exercise, play, relax, or commute. Discover the Bend Urban Trails System.

POINTS OF INTEREST ALONG THE DESCHUTES RIVER TRAIL

 Included in the Oregon Cascade Birding Trail system, Sawyer Park offers the opportunity to spot a variety of birds.

 The historic Radamacher House and Plaza overlook Mirror Pond and Drake Park, with the Three Sisters visible in the background. This site includes a sign interpreting Bend’s founding.

 Located across the foot bridge from Drake Park, Pageant Park was named in commemoration of the Bend Water Pageant, a favorite community event that ran from 1933-1965. An interpretive sign describes the event highlight, the launch of large lighted floats on Mirror Pond.

 The Drake Park interpretive sign (located directly in front of the public restrooms) describes Bend’s early sense of community spirit.

 McKay Park is the site of the Oregon Trunk Railroad interpretive sign, which describes Bend’s early railroad history.

 Across the river from Farewell Bend Park is the new Riverbend Park, acquired in 2004 as community park space. The first phase of park development is planned for fall of 2005.

 Farewell Bend Park, Bend’s newest community river park, honors the history of the logging industry at this site with two interpretive signs. Two additional signs explain a riparian restoration project and other steps being made to care for the health of our river and its ecosystem. The park includes a playground and restrooms.

 The boardwalk here offers a view of Central Oregon Irrigation District’s Hydro site, where irrigation water is dropped back to the river through two turbines, generating electrical power. The public has access to this trail section thanks to an agreement with COID—please stay on the designated trail.

 Mt. Bachelor Village Resort, in partnership with Brooks Resources and the High Desert Museum, has provided a series of informative signs along this section of trail which describe the native habitat, foliage, and other points of interest.

 At this point along the trail, visitors can see the COID irrigation diversion which At this po nt the rai , vis tors can see the COID rr gat on diversion wh ch sends river water into the canal system to support agricultural and power production needs. Fish are directed back to the river by an elaborate fish screen. Danger: This area is not open to the public.

� � � � � �������� ������� ��������� ������� � � � � � � � � � � � � � � � � � � � � �� � � � �� ����� � ���� ���� ������ � �� �� � �� � � � � � � � � � � � � O District Downtown Bend To USFS Deschutes River Trai s ��� ������ ������� ������ ����� ��� ������ �� ������ � �� � � � � �� � � � � ��� ������� �� ������� � �� �������� ��� � �� ����� � � � ����� ��� � ������ � �� � � � �� �� � ��� � � � �
BEND URBAN TRAILS MAP ©2005 FOR FUN, FOR FRIENDS, FOR HEALTH, FOR LIFE! ™
MAP LEGEND �������������� �������� ��������� �������������� ����� ����� ������������������ ������������������ ������� ������������� ���������������� ����������� ������������������� ���������� � ������� � �������� �������� ���������� � � ������������� ����������� �������� ����������� ������������ ������������ ���� ���������� ������  ������������ AWBREY REACH RIVER RUN REACH PIONEER REACH OLD MILL REACH SOUTH CANYON REACH
Photo: Bob Woodward

Food Trucks/Carts

https://www.visitbend.com/food-drink/restaurants/food-carts/

https://www.google.com/search?q=food+carts+near+me&rlz=1C1GCEU_enUS874US875&oq=food+ca rts+&aqs=chrome.2.69i57j0i512j0i457i512j0i402j46i175i199i512l2j0i512l4.9132j0j15&sourceid=chrom e&ie=UTF-8

https://www.menupix.com/oregon/cn/158/370037/Food-Trucks-Prineville

https://www.google.com/search?q=food+trucks+in+sisters+oregon&rlz=1C1GCEU_enUS874US875&ei =nMxVYpS4Ns2dkPIPufeDoAg&oq=food+trucks+in+Sisters&gs_lcp=Cgdnd3Mtd2l6EAEYADIFCAAQgAQ yBQgAEIYDMgUIABCGAzoLCC4QgAQQxwEQrwE6BggAEBYQHkoECEEYAEoECEYYAFAAWPcKYNAiaABw AXgAgAHRAYgBugmSAQUwLjYuMZgBAKABAcABAQ&sclient=gws-wiz

https://www.google.com/search?q=food+trucks+in+madras&rlz=1C1GCEU_enUS874US875&ei=nMxV YpS4Ns2dkPIPufeDoAg&ved=0ahUKEwiU9pOLm4_3AhXNDkQIHbn7AIQQ4dUDCA8&uact=5&oq=food +trucks+in+madras&gs_lcp=Cgdnd3Mtd2l6EAMyBggAEBYQHjIFCAAQhgMyBQgAEIYDOgcIABBHELADO goIABBHELADEMkDOggIABCABBDJAzoFCAAQkgM6BQgAEIAEOgsILhCABBDHARCvAUoECEEYAEoECEYY AFDeEliMGmDVHGgBcAF4AIABrQGIAZoHkgEDMC42mAEAoAEByAEHwAEB&sclient=gws-wiz

https://www.google.com/search?q=food+trucks+in+culver+oregon&rlz=1C1GCEU_enUS874US875&ei =bM1VYqjDC_bTkPIP_Zuj2AY&ved=0ahUKEwioqYDum4_3AhX2KUQIHf3NCGsQ4dUDCA8&uact=5&oq =food+trucks+in+culver+oregon&gs_lcp=Cgdnd3Mtd2l6EAMyBQghEKsCOgoIABBHELADEMkDOgcIABB HELADOgYIABAWEB46BQgAEIYDOgUIIRCgAUoECEEYAEoECEYYAFD2BljNDmCFEGgBcAF4AIABswGIAcQ JkgEDMC43mAEAoAEByAEEwAEB&sclient=gws-wiz

https://pdx.eater.com/maps/best-restaurants-bend-oregon-guide

Central Oregon Healthy Food

https://www.visitbend.com/food-drink/restaurants/vegan-vegetarian-gluten-free/

https://www.google.com/search?q=healthy+eats+in+central+oregon&rlz=1C1GCEU_enUS874US875& ei=Vs5VYo6xJp_TkPIPjIqV4AI&ved=0ahUKEwiOtOXdnI_3AhWfKUQIHQxFBSwQ4dUDCA8&uact=5&oq =healthy+eats+in+central+oregon&gs_lcp=Cgdnd3Mtd2l6EAM6BggAEAcQHjoICAAQBxAFEB46BQgAEI YDSgQIQRgASgQIRhgAUABYjyhg6D5oAnABeAGAAe8DiAHND5IBCjIuMTAuMS4wLjGYAQCgAQHAAQE &sclient=gws-wiz

Kid Friendly Attractions

https://forgetsomeday.com/things-to-do-in-bend-oregon-with-kids/

https://www.cascadiakids.com/things-do-kids-bend-oregon/

https://oldmilldistrict.com/things-to-do-with-kids/

https://www.visitbend.com/things-to-do/activities/kid-family-friendly-activities/

Farmers Markets in Central Oregon

https://visitcentraloregon.com/dining/food/farmers-market/

https://www.localharvest.org/prineville-or/farmers-markets

https://hdffa.org/its-farmers-market-season/

https://redmondoregonfarmersmarket.com/

https://www.sistersfarmersmarket.com/

https://www.localharvest.org/redmond-or/farmers-markets

https://www.madrassaturdaymarket.com/

Central Oregon Breweries

https://www.visitbend.com/food-drink/restaurants/brewery-pub/

https://www.google.com/search?q=breweries+in+central+oregon&rlz=1C1GCEU_enUS874US875&oq =&aqs=chrome.0.69i59i450l8.68566434j0j15&sourceid=chrome&ie=UTF-8

https://visitcentraloregon.com/dining/drinks/breweries/redmond/

https://beermebend.com/bend-oregon-brewery-locations/

https://www.google.com/search?q=prineville+breweries&rlz=1C1CHBD_enUS1025US1025&oq=prine ville+breweries&aqs=chrome..69i57j0i22i30j0i390i650.4688j0j7&sourceid=chrome&ie=UTF-8

https://www.google.com/search?q=breweries+in+madras+oregon&rlz=1C1CHBD_enUS1025US1025& oq=breweries+in+madras+oregon&aqs=chrome..69i57.6398j0j4&sourceid=chrome&ie=UTF-8

Private Schools in Central Oregon

https://www.niche.com/k12/search/best-private-schools/c/deschutes-county-or/

https://movingtobend.com/relocation-blog/2021/a-guide-to-public-and-private-schools-in-bendoregon/

https://www.countyoffice.org/bend-or-private-schools/

Central Oregon Winter Activities

https://www.visitbend.com/things-to-do/activities/winter-fun/

https://visitcentraloregon.com/things-to-do/activities/winter/

https://www.google.com/search?q=winter+activities+central+oregon&rlz=1C1CHBD_enUS1025US102 5&oq=winter+activities+central+oregon&aqs=chrome..69i57j0i22i30l2j0i390i650l3j69i60l2.14288j0j4 &sourceid=chrome&ie=UTF-8

Central Oregon Trivia and Bingo Nights

https://www.riversplacebend.com/games

https://beermebend.com/bend-oregon-brewery-locations/

https://www.bendsource.com/bend/bingo-with-bren-supporting-saving-grace/Event?oid=16320982

https://www.visitbend.com/food-drink/astro-lounge/

https://theyardfoodpark.com/events/

https://www.silvermoonbrewing.com/events

https://www.bendsource.com/bend/tuesday-night-trivia-in-redmond/Event?oid=18829261

Calendar of Events for Central Oregon

https://visitcentraloregon.com/calendar-of-events

https://www.bendsource.com/bend/EventSearch?v=g#grid

https://www.visitbend.com/event-calendar/

Economic Development For Central Oregon

ECONOMIC DEVELOPMENT FOR CENTRAL OREGON EDCOINFO.COM #EDCOINFO @EDCOINFO 705 SW BONNETT WAY SUITE 1000 BEND, OR 97702 541.388.3236 2022 CENTRAL OREGON ECONOMIC PROFILE

Table of Contents

Welcome to Central Oregon

Where the commute times are short and breathtaking views await you at every turn. The region features dramatic snow-capped mountain ranges and high desert plateaus within Deschutes, Crook and Jefferson counties.

Located halfway between San Francisco and Seattle, one of the hottest small metropolitan markets in the U.S. is Central Oregon. In the last decade the region has seen some of the highest sustained GDP growth, job growth and population growth. With these factors in mind, The Milken Institute has named the region the best small metropolitan in the nation four years in a row – an unprecedented feat no other location has ever received.

Central Oregon is pulling extraordinary talent and capital, fostering a diverse and highly entrepreneurial business ecosystem. Deschutes County received the most investment in Oregon in 2022, according to Smartasset. Lured by natural scenic beauty and big city amenities without big city costs or hassle, people are learning that having a true work-life balance is possible. Employees are happier and companies are more innovative and capital-efficient. All in a region dominated by small to mid-sized firms that compete globally – and win.

Welcome........................................................................................................ Central Oregon Overview................................................................................ Population..................................................................................................... Move.............................................................................................................. Relocate / Expand.......................................................................................... Start................................................................................................................ Entrepreneurial Support................................................................................. Grow............................................................................................................... Workforce...................................................................................................... Delivering What Is Expected......................................................................... Transportation............................................................................................... Services / Infrastructure................................................................................ Top Employers............................................................................................... Foundations of Central Oregon’s Economy................................................... Lifestyle......................................................................................................... About EDCO................................................................................................... 2 3 4 6 7 8 9 10 11 12 13 14 15 16 20 21 Page 2 - Economic Development for Central Oregon

CENTRAL OREGON OVERVIEW

Regional Population: 253,761

(2021 estimates from Portland State University)

Regional Labor Force: 123,953

(Seasonally adjusted total for 2021 from Oregon Employment Department)

Bend-Redmond MSA GDP Per Capita: $54,390

(2020 estimate from the Bureau of Economic Analysis)

*Bureau of Economic Analysis data is only available for the Bend-Redmond MSA

Access to and from our region has never been easier with five national carriers flying up to 54 segments daily to nine international airports. Central Oregon is served by one of the most vibrant and successful regional airports in the country at Redmond (RDM).

edcoinfo.com - Page 3

Central Oregon has been among the fastest growing regions anywhere in the U.S.

In-migration has been the dominating factor in the region’s growth. With millions of visitors annually, Central Oregon continues to attract thousands of new residents from all over the country each year for it’s outdoor amenities, arts and culture opportunities, quality healthcare, and a growing education system.

“Central Oregon’s economic growth is stronger than the state and nation overall. The primary reason is the high quality of life that attracts new residents. Faster population growth means local businesses can hire and expand at a faster rate due to the influx of working-age migrants and the growing labor force.”

Oregon Jefferson County 11.4% 14.6% 85.2% 63.7% Area POPULATION CHANGES FOR CENTRAL OREGON Percent Change 2010 - 2021 Net Migration % 2010 - 2021 Counties Deschutes County 28.9% 89.0% Crook County 21.5% 81.1% Source: Population Research Center, PSU 2021. Oregon Employment Department, 2021. Page 4 - Economic Development for Central Oregon
POPULATION

NEW RESIDENTS, NEW IDEAS & NEW ENERGY

#1 TOP 10 COOLEST PLACES TO GO IN THE NEXT 10 YEARS

With over 4.5 million visitors flocking to Central Oregon each year, it proves a great introduction to our region’s culture, lifestyle and a great first impression for businesses. Central Oregon and the Bend-Redmond MSA continually top the nation in population growth. In fact, Bend has been among the 15 fastest growing cities in the U.S. five of the last six years. While our population grows, so does our workforce. We’re cultivating a community that has consciously decided to live here and attracting new talent pools to serve the increasing demand for labor.

POPULATION TOTALS FOR CENTRAL OREGON

- FORBES , 2021 Oregon 3,837,300 4,237,256 3,421,399 4,013,845 4,266,620 Area 2010 2020 2000 2015 2021 Crook County 21,020 23,440 19,184 21,085 25,482 Deschutes County 157,905 197,015 115,367 170,740 203,390 Bend 76,740 92,840 52,029 81,310 100,922 La Pine 1,660 2,005 1,670 2,654 Redmond 26,225 32,215 13,481 27,050 36,122 Sisters 2,040 3,220 959 2,280 3,286 Unincorporated 51,240 66,735 48,898 53,151 60,406 Jefferson County 21,750 24,105 19,009 22,445 24,889 Tri-County Total Source: Population Research Center, PSU. 2000 & 2010 Census numbers are for April 1 of that year; 2015-2021 data are for July 1 of that year. 200,675 244,560 153,560 214,270 253,761 Not incorporated
11.4% % Growth 2010-2021 21.5% 28.9% 24.1% 27.4% 38.0% 15.3% 14.6% 20.9% 37.7% edcoinfo.com - Page 5

MOVE

Business Cost Comparison

Oregon offers more incentive programs to traded-sector* businesses than Washington or California. Even without taking those incentives into consideration, Oregon is still a more cost-effective choice for doing business. Contact EDCO for a detailed look at the business costs in Central Oregon.

*companies that sell their products or services outside the area, bringing new jobs and capital investment to the area

“While our move to Central Oregon may have started for personal reasons, it has allowed us to do more with our business than we thought possible. It has allowed us to hire amazing employees – the available talent here in Central Oregon has proven to be of the highest caliber and chocked full of integrity. Sometimes you feel like you can get lost in a big city. In Sisters we have been able to be part of a growing and nurturing business community.” - Wyatt Woods, President and Owner, Holy Kakow

Case Study: Holy Kakow

Founded in Portland in 2009, Holy Kakow creates premium organic chocolate sauces and syrups that are used in coffee shops across the nation and globe. After running the business for nearly a decade, Founder Wyatt Woods decided a move to the City of Sisters would be beneficial for his family. The next step was to figure out how to move the successful business. After EDCO’s help with site selection, incentives, permitting, and more, Holy Kakow was able to move their operations into a new building in the Sisters Business Park. The relocation allowed them to scale for growth, even during the pandemic, expanding their employment from three to eight in the span of a couple months. Holy Kakow have their sights set on new product launches. With the backing of the community and the growing number of craft food businesses in Sisters, the company is surrounded by a strong business ecosystem to help them succeed.

6.16¢ Avg. Electricity Rate (¢/kWh) None State & Local Sales Tax Rate $4.73 Avg. Natural Gas Rate ($/kcf) #22 State Business Tax Climate Index OR 15.14¢ 7.25%+ $9.74 #48 CA 5.81¢ 6.5%+ $7.72 #15 WA
We guide employers outside the region through the relocation process as a resource for regional data, incentives, talent, site selection, and A-Z problem solving.
Page 6 - Economic Development for Central Oregon
Sources: Tax Foundation 2022, US Energy Information Association (Natural Gas) 2021, US Energy Information Association (Electricity) 2021

RELOCATE & EXPAND

Get connected to our growing industry clusters that include: craft brewing/distilling, bioscience, outdoor products, technology, aerospace, and advanced manufacturing.

We link you to tools to help your company including: connections to the local supply chain, talent acquisition, incentives, business finance, market intelligence, and more.

WHY CENTRAL OREGON?

Central Oregon offers a pro-business environment with several incentives and supportive business finance options to encourage economic growth. Oregon also allows corporate net operating losses to be carried forward for up to 15 years without a cap, which can meaningfully reduce your business’s tax liability.

We help you navigate the regional and local real estate market, infrastructure and permitting processes.

For businesses looking to relocate, Central Oregon has a reputation for welcoming new companies. The region offers a tightknit community without sacrificing talent, education opportunities, or quality healthcare. EDCO’s network can help your business streamline decisions when choosing a new home.

edcoinfo.com - Page 7

We mentor and advise scalable young companies from concept to exit on issues such as access to capital, critical expertise and business strategy.

“The support we’ve received from EDCO and other organizations has been tremendous and allowed us to grow and develop our network and further develop our business in a short time. Their proactive approach to assisting and encouraging entrepreneurship in this region has been paramount to some of the large strides we’ve taken this year.”

Case Study: SherpTek

SherpTek was among the first tenants to take occupancy in the redeveloped Woodgrain mill site, re-branded the “Prineville Campus,” where they design and manufacture modular truck bed systems and accessories to improve the functionality and adaptability of pickup trucks for day-to-day use and outdoor adventures.

SherpTek is an innovator in the automotive/outdoor industry. Their Founder and Lead Design Engineer, Ryan Goodwin, uses composite aerospace materials and construction methods to create a lightweight, yet super durable, precision-engineered product. SherpTek was one of Prineville’s first companies to pitch at EDCO’s Central Oregon PubTalk, an event that showcases local entrpreneurs. The company has been and continues to be supported by EDCO as well as many local and State partners in areas such as business financing, incentive utilization, internship coordination, staffing, network connections, scalability, and pitch coaching. Despite having just moved their start-up to Prineville earlier this year, SherpTek has ingrained itself into the entrepreneurial fabric of the region. They are already expanding their manufacturing facilities, hiring additional employees and training local high school students on their specialized processes.

* EDIT TITLE
START
Page 8 - Economic Development for Central Oregon

A driving force for our economic performance is a collaborative and inclusive entrepreneurial community. This is supported via the number of new business registrations, which has outpaced far larger cities. In 2022, AdvisorSmith ranked Bend fifth for Top Midsize Cities where Americans Start the Most Businesses at 3.79 businesses started per 1,000 residents.

The region is large enough to provide resources and access to capital that help new entrepreneurs get started, while still being small enough that those resources are interconnected to support businesses as they grow. Unique to Central Oregon, given its size, are the numerous community resources and assets that are available. Assets managed by EDCO include monthly Central Oregon PubTalks, the Stable of Experts mentorship program and the largest Angel Conference in the PNW, the Bend Venture Conference.

BEST SMALL CITIES FOR STARTING A BUSINESS

Source: WalletHub, April 2022.

Both Redmond and Bend made WalletHub’s Top 30 list for best cities to start a business at #16 and #17 respectively, based on an index of criteria that included business environment, access to resources and business costs. They were the only two Oregon cities to make it in the top 350 of 1,334 small cities ranked in the index.

ENTREPRENEURIAL SUPPORT St. George, UT Bend, OR 359 1 2 3 16 17 4 1 8 5 3 54 Area
Access to Resources Rank National Rank Business Environment Rank Washington, UT 3 Bozeman, MT 18
OR 127
Redmond,
edcoinfo.com - Page 9

GROW

“Our flagship manufacturing facility is located in Bend, nestled at the base of the Cascade Mountain Range, which also inspired the brand name. The views and outdoor amenities are unmatched, but the entrepreneurial and community support we have received from day one has been the driving factor in bringing our homegrown business sustainable success in Oregon and beyond. Our employees, customers and partners are what make Bend home and inspire continued growth.”

Case Study: Broken Top Brands

Broken Top Brands creates handmade, sustainable, eco-conscious candles and body products that have been featured in National media outlets such as BuzzFeed, Oprah Daily and HuffPost. Started in 2015 out of Founder Affton Coffelt’s kitchen in Bend as Broken Top Candle Co., the company has now blossomed to 19 employees and recently moved into an 18,000 SF manufacturing facility.

Broken Top Brands is currently selling an array of all natural, biodegadble and paraben-free lifestyle products in the USA, as well as Canada and parts of Europe. The brand’s market is primarily wholesale with an organically growing e-commerce presence. Customers can find their products in over 2,800 retail locations nationally and internationally, with Whole Foods being their largest account.

Broken Top Brands was attracted to starting a business in Central Oregon for its quality of life and supportive community. Due to it’s unique company culture and location, the business has had success retaining employees which has enabled its continued expansion. Although supply chain timelines and transportation costs have been challenges through the pandemic, Broken Top Brands has sustained steady growth and continues to partner with EDCO, 1% for the Planet, One Tree Planted, Opportunity Knocks, Bend Chamber, and Business Oregon to serve their loyal customer base.

We partner with local traded-sector companies to help them grow and expand, offering them the very same incentives and assistance as relocation projects.
Page 10 - Economic Development for Central Oregon

#5 FOR 5-YEAR JOB GROWTH IN THE U.S.

Private sector employment grew by 47% in Central Oregon over the last 10 years, which is significantly faster than the statewide growth of around 20%. Employment in the private sector is projected to grow by 12% across the region between 2019 and 2029.

Workforce Development

Improving the Readiness and Employability of Central Oregon’s Future Workforce

Now in its fourth year, Youth CareerConnect (YCC) continues to connect employers and students with real work experience throughout Central Oregon. By supporting internships and experiential learning opportunities in the community, YCC has made it simpler for schools and employers to connect while fostering a work-ready labor force for years to come.

YCC Internship Coordinators host office hours at schools across the region to help students with professional goal setting, resume writing, interview skills, and internship placement for high school, college and alternative education students. Since its inception in 2017, YCC has built a rolodex of over 360 business partners and placed more than 493 students in meaningful internships. Personalization for both the business and the student is at the core of what YCC does, and why it continues to thrive. To get involved with Youth CareerConnect, visit: youthcareerconnect.org

WORKFORCE
- Damon Runberg, Oregon Employment Department
Source: State of Oregon Employment Department, 2021 Oregon 14.3% U.S. MANUFACTURING EMPLOYMENT GROWTH (2010-2021) 7.1% Deschutes County 60.6% Redmond 75.3% edcoinfo.com - Page 11

DESCHUTES COUNTY #1 COUNTY RECEIVING THE MOST INCOMING INVESTMENT IN OREGON

-SMARTASSET, 2022

“Central Oregon enjoys a truly collaborative environment. Everyone is not only supportive of each other, but excited to see one another grow. We share the same trails, rivers and slopes and ultimately share a similar vision to help the region succeed.”

The combination of a collaborative culture, a supportive attitude among government and economic development partners, plus a location that attracts talent and investment all help Central Oregon compete nationally.

- Scott Allan , Former CEO and GM, Hydro Flask
Rank County New Building Permits (per 1,000 homes) Business Growth Federal Funding (per capita) GDP Growth (millions) Incoming Investment Index 1 3 5 2 4 6 Deschutes 26.4 Marion 13.8 Washington 13.4 Crook 21.8 Linn 15.8 Jefferson 9.8 Oregon Totals 7.8 11.3% $211 6.8% $920 4.1% $340 7.8% $225 4.8% $103 8.9% $192 3.4% $265 $317 56.94 $354 43.91 $660 42.09 $23 49.48 $111 42.77 $17 41.99 $1,480 Source: SmartAsset, 2022 INCOMING INVESTMENT BY COUNTY IN OREGON DELIVERING WHAT IS EXPECTED Page 12 - Economic Development for Central Oregon

TRANSPORTATION

Redmond Municipal Airport (RDM; www.flyrdm.com ) provides commercial air service with an average of 27 daily outbound flights to Burbank, Denver, Los Angeles, Palm Springs, Phoenix, Salt Lake City, San Diego, San Francisco, and Seattle via five carriers (Alaska, American, Avelo, Delta, and United).

Average Commute Times

SanFranciscoLosAngeles

The Central Oregon average commute time is 24 minutes each way, saving the average worker nearly one work week per year !

Source: Census.gov 2021

Travel Time & Distance by Car

RAIL FREIGHT

Burlington Northern-Santa Fe (BNSF), Union Pacific (UPRR) and the City of Prineville Railway (COPR) provide direct connections for shipping to any market in the United States, Canada and Mexico.

Travel Time By Air

U.S. Highways 97 and 20 are two of the State’s major trucking routes, with access to major metro areas with connections to Interstate 5 (N-S) and Interstate 84 (E-W).

PHOENIX, AZ

2 hour, 30 minutes

PALM SPRINGS, CA

Coming November 2022

SAN DIEGO, CA

2 hours, 40 minutes

30 min 33.3 min 31.9 min 27.7 min 26.2 min 16.6 min 25.7 min
20 min 10 min 0 min
OR 164 miles
hours, 13 minutes
WA 269 miles 4 hours, 44 minutes
LAKE CITY, UT 1 hour, 30 minutes
WA 329 miles 5 hours, 46 minutes BURBANK, CA 1 hour, 30 minutes
CO
hours, 24 minutes
ANGELES, CA 820 miles 12 hours, 38 minutes BEND, OR REDMOND,
RDM
OR 173 miles 3 hours, 15 minutes
WA
hour, 10 minutes
316 miles 5 hours, 12 minutes
FRANCISCO, CA 1 hour, 10 minutes
FRANCISCO,
491 miles
hours,
PORTLAND,
3
OLYMPIA,
SALT
SEATTLE,
DENVER,
2
LOS
OR
MEDFORD,
SEATTLE,
1
BOISE, ID
SAN
LOS ANGELES, CA 2 hours SAN
CA
7
55 minutes
Seattle Portland Denver Bend
AIR
edcoinfo.com - Page 13

UTILITIES

Most of our region has been newly built in the past two decades, making Central Oregon’s telecommunications infrastructure one of the Northwest’s most technologically advanced. Businesses and telecommuters benefit from reliable fast data speeds and upload times.

EDUCATION

Central Oregon is well-recognized for its high level of education, with some of the best K-12 public schools in the nation. In 2021, the Bend-La Pine school district’s average SAT scores surpassed the national average by over 180 points. Additionally, our higher education opportunities abound. From Oregon State University-Cascades’ ongoing expansion, to Central Oregon Community College’s four campuses in the region, there are opportunities for all to obtain a quality education.

HEALTHCARE

St. Charles Health System is the largest healthcare provider in the region, and is also the largest employer with over 4,500 employees across the tri-county area. The hospital received HealthGrade’s 2021 Pulmonary Care Excellence Award™ and offers a network of more than 100 clinics and specialty practices throughout the community.

& INFRASTRUCTURE
SERVICES
Page 14 - Economic Development for Central Oregon

TOP EMPLOYERS

According to the Oregon Employment Department, 76% of Oregon establishments have between one and nine covered payroll employees and the average private establishment employs around 11 people.

Still, a number of large employers operate successfully here, tapping into Central Oregon’s ever-expanding workforce, the overall low cost of doing business and business-friendly local governments. This year, the top 50 private companies collectively employ nearly 21,000 Central Oregonians, or roughly 21.9% of the region’s current total employment.

2021 Central
Private by Employment Trade, Transportation, & Utilities Education & Health Services Leisure & Hospitality Professional & Business Services Mining, Logging & Construction Manufacturing Financial Activities Other Services Information 7% 4% 2%
Oregon Industry Composition
- Oregon Employment Department , 2011-2021
CENTRAL OREGON RANKED #1 IN THE STATE FOR JOB GROWTH AT 29.7%
1 9 17 5 13 21 7 15 23 31 27 35 T-24 T-33 T-29 37 42 45 T-46 2022 1 7 T-13 5 12 T-23 8 15 T-23 36 T-17 T-38 28 T-38 T-31 37 NL 47 46 2021 4,509 605 336 894 375 249 640 350 238 206 225 199 235 200 220 176 159 153 150 2022 St. Charles Health System regional 2022 Central Oregon Largest 50 Private Employers Employees Rank McDonald’s regional PacificSource Mt. Bachelor Black Butte Ranch Opportunity Foundation Fred Meyer regional Meta - Facebook Data Center NeighborImpact regional Endura Products Eagle Crest - Aimbridge Hospitality Keith Manufacturing Co. 10 Barrel Brewing Co. Touchmark at Mt. Bachelor Village Tetherow First Interstate Bank regional Hayden Homes Rebound Physical Therapy regional Dutchie 4,626 682 365 860 375 259 669 350 259 200 300 195 230 195 220 198 122 149 150 2021 2 10 18 6 14 22 8 16 T-24 32 28 36 T-39 41 44 T-46 50 26 T-33 T-29 38 T-39 43 T-46 49 2 10 20 6 T-13 19 9 T-23 22 21 35 48 NL 42 41 T-43 T-50 29 40 33 45 30 T-31 T-17 T-43 1,030 440 296 714 365 245 628 340 235 204 221 190 165 164 154 150 142 226 200 220 171 165 157 150 149 Bright Wood Corporation regional Lonza, formerly Bend Research High Lakes Health Care regional Safeway regional ibex Consumer Cellular Summit Medical Group regional BASX Pronghorn Resort Bi-Mart regional Epic Air Indian Head Gaming Albertsons regional Nosler J Bar J Youth Services Deschutes Brewery Laird Superfood NL = Not Listed | T = Tied PCC Schlosser Sunriver Brewing Company The Center (Ortho/Neuro Care) Western Heavy Haul & SMAF G5 Riverhouse on the Deschutes BendBroadband/TDS Telecom Ray’s Food Place regional 1,093 438 279 751 365 294 607 259 270 272 210 145 201 173 174 162 132 224 190 216 155 221 220 300 162 3 11 19 3 16 26 1,000 415 280 Sunriver Resort Rosendin Electric Inc. Brasada Ranch 1,000 317 250 4 12 20 4 11 27 916 391 267 Les Schwab regional Mosaic Medical regional Medline ReNewal 890 378 246 21% 19% 16% 13% 10% 9% Source: State of Oregon Employment Department, 2021 edcoinfo.com - Page 15

FOUNDATIONS OF CENTRAL OREGON’S ECONOMY

ADVANCED MANUFACTURING AVIATION & AEROSPACE

• More than 100 businesses in advanced manufacturing make their own products here in Central Oregon, as well as provide a critical role in the supply chain for other OEM in aviation/aerospace, brewing & distilling, specialty food processing, and automotive.

• Additive and subtractive machining of metals and plastics, advanced welding and metal fabrication, specialty metals casting, production printing and publishing, as well as specialized machinery and equipment continue to advance locally.

• The largest employers in this industry group include Precision Cast Parts (PCC) Schlosser, Keith Manufacturing and BasX Solutions.

• The production of light aircraft in Central Oregon spans back more than 30 years and over that time, 25 aircraft have moved through the process of conceptual design to flight.

• Composite (carbon fiber) fabrication and innovation aircraft are the region’s specialty offering a cluster of world-class talent and capabilities here.

• Some of the most successful flight training programs in the country are located in the region with both fixed-wing and helicopter flight schools that serve the global industry, including Leading Edge, Hillsboro Aero Academy and Central Oregon Community College.

Page 16 - Economic Development for Central Oregon

BIOSCIENCE

• Producing everything from titanium implants to cutting edge drug research, our bioscience industry has been experiencing year-over-year double digit employment growth for nearly a decade.

• Quietly, Central Oregon’s bioscience industry has proven capable of attracting world class scientific and technical talent that has made companies here competitive on a global scale.

• Swiss-based pharmaceutical research and manufacturer Lonza is the largest bioscience company in the region, and among the largest in Oregon, with two campuses and additional operations scattered across the region.

BREWING & DISTILLING

• Central Oregon is home to breweries both large and small, with Deschutes Brewery’s production placing it in the top 10 largest craft breweries in the U.S.

• For Oregon, which has 312 craft breweries, nearly one-third of the largest 30 brewers by volume, are located in Central Oregon – testimony to the quality of product produced here.

• The region is also home to a dozen craft cideries and distilleries, two of which, Bendistillery and AVID Cider, are the second largest in the state in their respective sectors.

#3 LEADING HOP PRODUCTION STATE

#2 BEST CITIES FOR BEER DRINKERS

-STATISTA, 2020
-SMARTASSET, 2022 FOUNDATIONS OF CENTRAL OREGON’S ECONOMY edcoinfo.com - Page 17

FOUNDATIONS OF CENTRAL OREGON’S ECONOMY

BUILDING PRODUCTS

• After 100+ years and considerable systemic change across the industry, the building products sector is still Central Oregon’s largest traded-sector employer.

• Businesses in this sector compete and win on a global scale, innovating and automating as global leaders in their respective sub-industries, including wood doors and windows, mouldings, cabinetry, furniture, and musical instruments.

• The region’s largest manufacturer and second largest private employer, Brightwood Corporation, is based in Madras, with operations in Redmond, Culver and Prineville. The company has been growing in Central Oregon for over a half century.

OUTDOOR GEAR & APPAREL

• Central Oregon is home to a diverse group of businesses in a variety of subsectors, including rock climbing, water sports, hydration, hiking, backpacking, recreational vehicles, road and mountain biking, outerwear, and software.

• The region is home to the Oregon Outdoor Alliance (OOA) and Oregon’s Office of Outdoor Recreation, both of which are dedicated to connecting and cultivating the industry.

• Bend Outdoor Worx is the country’s first dedicated startup accelerator for the industry and offers investment, exposure and access to vetted resources for outdoor innovators.

#5 GREAT CITIES IN THE U.S. FOR OUTDOOR ADVENTURES

Page 18 - Economic Development for Central Oregon
- WASHINGTON POST, 2022

FOUNDATIONS OF CENTRAL OREGON’S ECONOMY

PROFESSIONAL SERVICES

• Professional services are incrasingly being exported out of the tri-county region including engineering, architecture, accounting, HR, recruitment, creative services, advertising, and publishing to name a few

• The creative, marketing and advertising sub-sectors of this industry are particularly strong in Central Oregon with firms being attracted to the region from as far away as Barcelona, Spain.

TECHNOLOGY

• Including software companies, electronics manufacturers, alternative energy and data centers, the region has over 130 tech companies employing nearly 3,000 people.

• Five dozen software companies call the region home, more often than not locating their headquarter operations here.

• Prineville is a growing data center hub and is home to Meta’s first and largest data center campus, a 4.5 million square foot complex. Central Oregon offers a unique advantage for data centers due to its available infrastructure, affordable industrial land, multiple telecom carriers, desert climate, and globally competitive tax incentives.

#3

FOR 5-YEAR HIGH TECH GDP GROWTH -MILKEN INSTITUTE, 2022

edcoinfo.com - Page 19

Located on the eastern slopes of the Cascade Range, where vast forests give way to the arid high desert, Central Oregon boasts year-round adventure and a rare mix of city amenities and world-famous outdoor recreation. The region offers the slower speed of a small town with access to toprated healthcare and infrastructure to support continued economic growth.

#10

#10 BEST PERFORMING SMALL CITIES & #1 FOUR YEARS IN A ROW

#2 MOST FITNESS FRIENDLY PLACE IN THE U.S.

30+ Golf Courses

Miles and Miles of Trails

Flourishing Arts & Culture Scene

#4 BEST MOUNTAIN TOWNS IN AMERICA

31 Breweries & Counting

300 Days of Sunshine

LIFESTYLE
-MILKEN INSTITUTE, 2022
BEST
BUSINESS -U.S. CHAMBER OF COMMERCE, 2022
LIVE IN
-MONEY, 2019 & LIVABILITY, 2020
SMALL CITIES FOR
TOP 100 BEST PLACES TO
AMERICA
-THRILLIST,
M T. BACHELOR
-AFAR, 2020
2021
AMONG BEST SKI AREAS IN THE U.S.
-SMARTASSET, 2022
Page 20 - Economic Development for Central Oregon

ABOUT EDCO

Founded in 1981, EDCO is a non-profit corporation supported by private and public members and stakeholders. Our mission is to create a balanced and diversified economy with a strong base of middle-class jobs in Central Oregon.

To do this, we focus on helping companies do the following:

MOVE. We guide employers outside the region through the relocation process as a resource for regional data, incentives, talent, site selection, and more.

START. We mentor and advise scalable young companies from concept to exit on issues such as access to capital, critical expertise and business strategy.

GROW. We partner with local traded-sector companies to help them grow and expand.

Central

Central

City

City

City of Prineville

City of Redmond

City of Sisters

Crook County

Deschutes County

First Interstate Bank

Jefferson County

Mid Oregon Credit Union

OSU-Cascades

Pacific Power

PacificSource Health Plans

Schwabe, Williamson & Wyatt

Sensiba San Filippo

U.S. Bank

Additional information available at EDCOINFO.COM

• Upcoming networking events, luncheons, conferences, and more

• EDCO Info Hub: current comprehensive data for Central Oregon

• Stable of Experts: a network of seasoned professionals with a passion for start-ups and small businesses

• Success stories from regional businesses

• Business news on EDCO’s blog

Fiscal Year Companies Jobs (New & Retained) New Capital Investment 2020 - 2021 2018 - 2019 2016 - 2017 2019 - 2020 2017 - 2018 2021 - 2022 Totals 34 40 48 36 31 13 202 451 587 735 774 288 483 3,318 $208.7 million $70.5 million $2.1 billion $67.1 million $199.7 million $1.98 billion $4.63 billion
BendTel
Natural Gas
AmeriTitle
Cascade
Electric Cooperative
Community
Oregon
College
of Bend
of La Pine
City of Madras
Combined Communications
St. Charles Health System
Members EDCO Contact Information Regional Office (Bend) CEO: Jon Stark Director: Don Myll 705 SW Bonnett Way Ste. #1000 Bend, OR 97702 541.388.3236 Redmond Director: Steve Curley 411 SW 9th Street Ste. #203 Redmond, OR 97756 541.923.5223 Prineville/Crook County Director: Kelsey Lucas PO Box 153 Prineville, OR 97754 541.213.3169 Sisters Director: Eric Strobel 520 E Cascade Street Sisters, OR 97759 541.410.8630 Sunriver/La Pine Director: Patricia Lucas 16345 Sixth Street La Pine, OR 97739 248.693.3049 Public Contracts EDCO’S Funding Sources Private Members Earned Revenue Other 36% 30% 21% 16% EDCO’S RESULTS edcoinfo.com - Page 21
Velox Systems EDCO Platinum
EDCOINFO.COM #EDCOINFO @EDCOINFO 705 SW BONNETT WAY SUITE 1000 BEND, OR 97702 541.388.3236

Turn static files into dynamic content formats.

Create a flipbook
Issuu converts static files into: digital portfolios, online yearbooks, online catalogs, digital photo albums and more. Sign up and create your flipbook.