2138 SW 2nd Ct Redmond - Property Development Pkg

Page 1


DESCHUTESCOUNTYPROPERTYPROFILEINFORMATION

Parcel#:185056

TaxLot:151321AD01800

Owner:SudernoHoldingsLLC

CoOwner:

Site:2138SW2ndCt

RedmondOR97756

Mail:2310LeightonWay SpringHillTN37174

LandUse:301-Industrial-Improved(typicalofclass)

StdLandUse:IMSC-IndustrialMiscellaneous

Legal:Lot:PTPARCEL1+PTPARBlock:66

Twn/Rng/Sec:T:15SR:13ES:21Q:NEQQ:SE

ASSESSMENT&TAXINFORMATION

MarketTotal:$1,166,160.00

MarketLand:$431,070.00

MarketImpr:$735,090.00

AssessmentYear:2023

AssessedTotal:$474,110.00

Exemption:

Taxes:$9,409.47

LevyCode:2-001

LevyRate:198466

SALE&LOANINFORMATION

SaleDate:07/17/2018

SaleAmount:

Document#:2018-31156

DeedType:BARGAIN&SALE

LoanAmount:

Lender:

LoanType:

InterestType:

TitleCo:

PROPERTYCHARACTERISTICS

YearBuilt:1997

EffYearBuilt: Bedrooms: Bathrooms: #ofStories: TotalSqFt:9,850SqFt

Floor1SqFt: Floor2SqFt: BasementSqFt: Lotsize:0.99Acres(43,124SqFt)

GarageSqFt: GarageType:

AC:

Pool:

HeatSource: Fireplace:

BldgCondition: Neighborhood: Lot:PTPARCEL1+PTPAR

Block:66

Plat/Subdiv:Pp1993-66

Zoning:CityOfRedmond-M1-LightIndustrial SchoolDist:2J-Redmond Census:1019-000901

Recreation:

SentryDynamics,Inc anditscustomersmakenorepresentations,warrantiesorconditions,expressorimplied,astotheaccuracyorcompletenessofinformationcontainedinthisreport

Deschutes County Property Information

Report Date: 8/21/2024 10:18:24 AM

The information and maps presented in this report are provided for your convenience. Every reasonable effort has been made to assure the accuracy of the data and associated maps. Deschutes County makes no warranty, representation or guarantee as to the content, sequence, accuracy, timeliness or completeness of any of the data provided herein. Deschutes County explicitly disclaims any representations and warranties, including, without limitation, the implied warranties of merchantability and fitness for a particular purpose. Deschutes County shall assume no liability for any errors, omissions, or inaccuracies in the information provided regardless of how caused. Deschutes County assumes no liability for any decisions made or actions taken or not taken by the user of this information or data furnished hereunder.

Warnings, Notations, and Special Assessments

Review of digital records maintained by the Deschutes County Assessor’s Office, Tax Office, Finance Office, and the Community Development Department indicates that there are no special tax, assessment or property development related notations associated with this account. However, independent verification of the presence of other Deschutes County tax, assessment, development, and additional property related considerations is recommended. Confirmation is commonly provided by title companies, real estate agents, developers, engineering and surveying firms, and other parties who are involved in property transactions or property development. In addition, County departments may be contacted directly to discuss the information.

Tax Payment History

Sales History

Land Characteristics

Ownership

Related Accounts

Related accounts apply to a property that may be on one map and tax lot but due to billing have more than one account. This occurs when a property is in multiple tax code areas. In other cases there may be business personal property or a manufactured home on this property that is not in the same ownership as the land.

No Related Accounts found.

Permit Number:

Permit Name:

Contractor:

711-B96-643401

Commercial Building Class: Class of Work:

Building Use:

Inspections

06/28/1996 Application Date: 11/25/1996 Issue Date: Final Date: Finaled Status:

222,346 VAL - IVR NUMBER = 711900003707 ~ IVR PHONE = 1-888-299-2821

No inspection records found.

Building Permit Details

Permit Number:

Permit Name:

711-S96-643407

Contractor: 06/28/1996 Application Date: 03/17/1997 Issue Date: Final Date:

Commercial Building Class: Class of Work:

Building Use:

Inspections

VAL:$600/ SIGN - IVR NUMBER = 711900003563 ~ IVR PHONE = 1-888-299-2821

No inspection records found.

Electrical Permit Details

Permit Number:

Permit Name:

711-E97-713501

Contractor: 03/04/1997 Application Date: 03/04/1997 Issue Date: Final Date:

Commercial Building Class: Class of Work: DATA INSTALL - IVR NUMBER = 711900004680 ~ IVR PHONE = 1-888-299 -2821

Service Description:

Inspections

No inspection records found.

Electrical Permit Details

Permit Number:

Permit Name:

Contractor:

711-E96-643403

Building Use: Linked Permit:

06/28/1996 Application Date: 01/06/1997 Issue Date: Final Date:

Commercial

Class: Class of Work: NEW COM SERVICE - IVR NUMBER = 711900003585 ~ IVR PHONE = 1888-299-2821

Service Description:

Inspections

No inspection records found.

Building Use: Linked Permit:

Electrical Permit Details

Permit Number:

Permit Name:

Contractor:

711-E96-643404

06/28/1996 Application Date: 01/06/1997 Issue Date: Final Date:

Commercial Building Class: Class of Work: NEW COM SERVICE - IVR NUMBER = 711900003586 ~ IVR PHONE = 1888-299-2821

Service Description:

Inspections

No inspection records found.

Electrical Permit Details

Permit Number:

Permit Name:

Building Use: Linked Permit:

711-E96-643406

Contractor: 06/28/1996 Application Date: 03/03/1997 Issue Date: Final Date:

Commercial

Class: Class of Work: LTD ENERGY/IRRGATION - IVR NUMBER = 711900003587 ~ IVR PHONE = 1-888-299-2821

Service Description:

Inspections

No inspection records found.

Mechanical Permit Details

Permit Number:

Permit Name:

Contractor:

711-M97-713502

Service Description:

Inspections

No inspection records found.

Mechanical Permit Details

Permit Number:

Permit Name:

Contractor:

711-M96-643405

Commercial Building Class: Class of Work:

Service Description:

Building Use: Linked Permit:

Building Use: Linked Permit:

03/04/1997 Application Date: 03/04/1997 Issue Date: Final Date:

06/28/1996 Application Date: 11/25/1996 Issue Date: Final Date: Finaled Status:

Inspections

No inspection records found.

Plumbing Permit Details

Permit Number:

Permit Name:

711-P96-643402

Service Description:

Inspections

No inspection records found.

Assessor's Office Supplemental Information

STATEMENT OF TAX ACCOUNT

151321-AD-01800

ADDRESS:

2138 SW 2ND CT REDMOND

Please include this coupon with payment. Please do not staple, paper clip or tape your payment.

Payment Due November 15, 2023

$9,127.19

Roa d Map

AerialMap

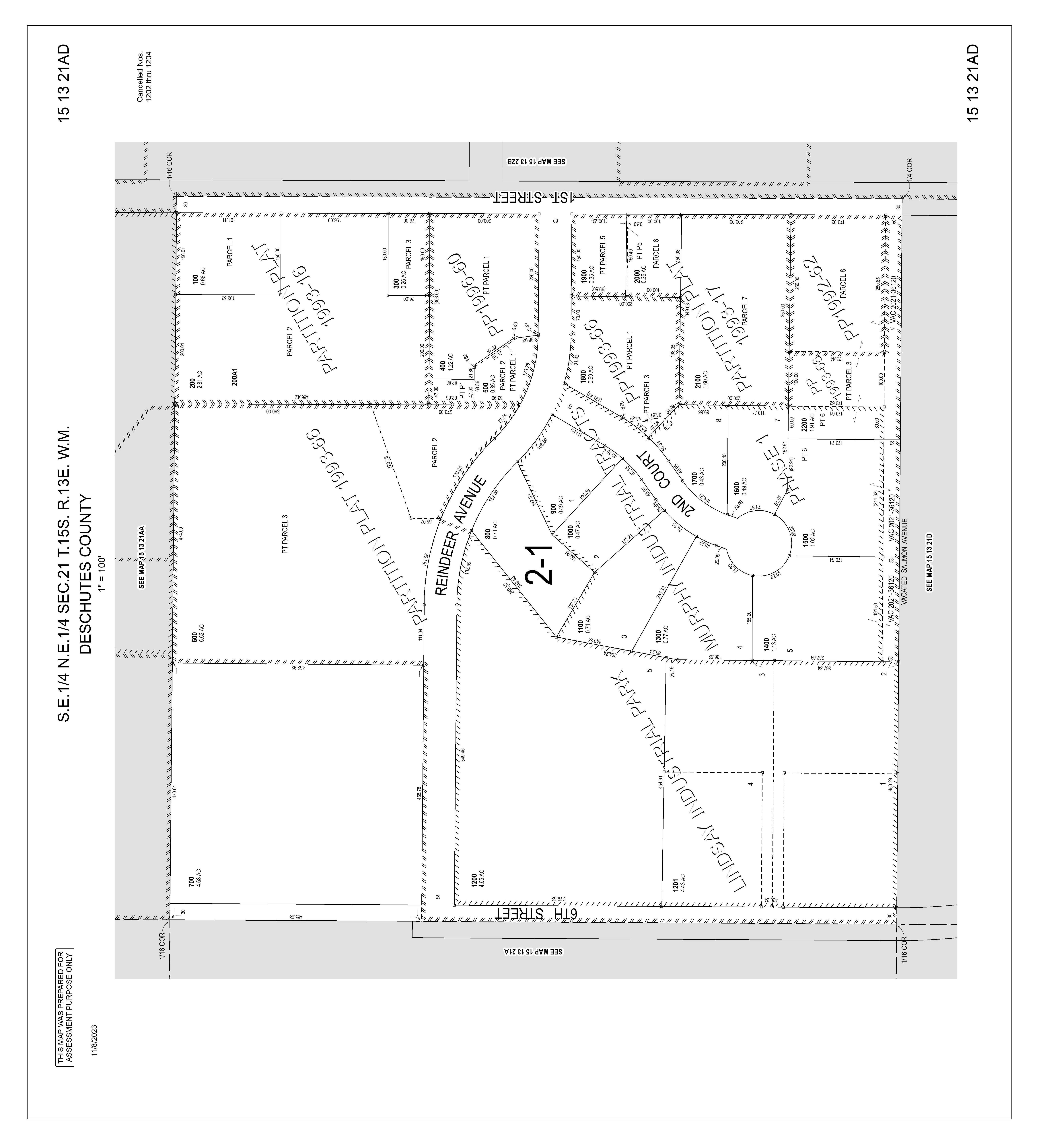
ParcelID:185056

TaxAccount#:151321AD01800

2138SW2ndCt, RedmondOR97756

Thismap/platisbeingfurnishedasanaidinlocatingtheherein describedlandinrelationtoadjoiningstreets,naturalboundariesand otherland,andisnotasurveyofthelanddepictedExcepttotheextent apolicyoftitleinsuranceisexpresslymodifiedbyendorsement,ifany, thecompanydoesnotinsuredimensions,distances,locationof easements,acreageorothermattersshownthereon

AssessorMap

ParcelID:185056

TaxAccount#:151321AD01800

2138SW2ndCt, RedmondOR97756

Thismap/platisbeingfurnishedasanaidinlocatingtheherein describedlandinrelationtoadjoiningstreets,naturalboundariesand otherland,andisnotasurveyofthelanddepictedExcepttotheextent apolicyoftitleinsuranceisexpresslymodifiedbyendorsement,ifany, thecompanydoesnotinsuredimensions,distances,locationof easements,acreageorothermattersshownthereon

ParcelID:185056

TaxAccount#:151321AD01800

2138SW2ndCt, RedmondOR97756

Thismap/platisbeingfurnishedasanaidinlocatingtheherein describedlandinrelationtoadjoiningstreets,naturalboundariesand otherland,andisnotasurveyofthelanddepictedExcepttotheextent apolicyoftitleinsuranceisexpresslymodifiedbyendorsement,ifany, thecompanydoesnotinsuredimensions,distances,locationof easements,acreageorothermattersshownthereon

FloodMap

ParcelID:185056

TaxAccount#:151321AD01800

2138SW2ndCt, RedmondOR97756

Thismap/platisbeingfurnishedasanaidinlocatingtheherein describedlandinrelationtoadjoiningstreets,naturalboundariesand otherland,andisnotasurveyofthelanddepictedExcepttotheextent apolicyoftitleinsuranceisexpresslymodifiedbyendorsement,ifany, thecompanydoesnotinsuredimensions,distances,locationof easements,acreageorothermattersshownthereon

AerialMap

ParcelID:185056

TaxAccount#:151321AD01800

2138SW2ndCt, RedmondOR97756

Thismap/platisbeingfurnishedasanaidinlocatingtheherein describedlandinrelationtoadjoiningstreets,naturalboundariesand otherland,andisnotasurveyofthelanddepictedExcepttotheextent apolicyoftitleinsuranceisexpresslymodifiedbyendorsement,ifany, thecompanydoesnotinsuredimensions,distances,locationof easements,acreageorothermattersshownthereon

ParcelID:185056

TaxAccount#:151321AD01800

2138SW2ndCt, RedmondOR97756

Thismap/platisbeingfurnishedasanaidinlocatingtheherein describedlandinrelationtoadjoiningstreets,naturalboundariesand otherland,andisnotasurveyofthelanddepictedExcepttotheextent apolicyoftitleinsuranceisexpresslymodifiedbyendorsement,ifany, thecompanydoesnotinsuredimensions,distances,locationof easements,acreageorothermattersshownthereon

StreetMap

ParcelID:185056

TaxAccount#:151321AD01800

2138SW2ndCt, RedmondOR97756

Thismap/platisbeingfurnishedasanaidinlocatingtheherein describedlandinrelationtoadjoiningstreets,naturalboundariesand otherland,andisnotasurveyofthelanddepictedExcepttotheextent apolicyoftitleinsuranceisexpresslymodifiedbyendorsement,ifany, thecompanydoesnotinsuredimensions,distances,locationof easements,acreageorothermattersshownthereon

SubdivisionMap

ParcelID:185056

TaxAccount#:151321AD01800

2138SW2ndCt, RedmondOR97756

Thismap/platisbeingfurnishedasanaidinlocatingtheherein describedlandinrelationtoadjoiningstreets,naturalboundariesand otherland,andisnotasurveyofthelanddepictedExcepttotheextent apolicyoftitleinsuranceisexpresslymodifiedbyendorsement,ifany, thecompanydoesnotinsuredimensions,distances,locationof easements,acreageorothermattersshownthereon

TransportationMap

ParcelID:185056

TaxAccount#:151321AD01800

2138SW2ndCt, RedmondOR97756

Thismap/platisbeingfurnishedasanaidinlocatingtheherein describedlandinrelationtoadjoiningstreets,naturalboundariesand otherland,andisnotasurveyofthelanddepictedExcepttotheextent apolicyoftitleinsuranceisexpresslymodifiedbyendorsement,ifany, thecompanydoesnotinsuredimensions,distances,locationof easements,acreageorothermattersshownthereon

ZoningMap

ParcelID:185056

TaxAccount#:151321AD01800

2138SW2ndCt, RedmondOR97756

Thismap/platisbeingfurnishedasanaidinlocatingtheherein describedlandinrelationtoadjoiningstreets,naturalboundariesand otherland,andisnotasurveyofthelanddepictedExcepttotheextent apolicyoftitleinsuranceisexpresslymodifiedbyendorsement,ifany, thecompanydoesnotinsuredimensions,distances,locationof easements,acreageorothermattersshownthereon

Bogey 's Bur gers
Wild Ride Brew in g & F ood Co urt

REDMOND CODE

CHAPTER 8

DEVELOPMENT REGULATIONS

The contents of Chapter Development Regulations can be found here:

https://www.redmondoregon.gov/home/showpublisheddocument/3426/638091

082331730000

Deschutes County Code

https://deschutescounty.municipalcodeonline.com/book?type=ordinances#name

Water Distribution System - Aerial

Sources: Esri, Airbus DS, USGS, NGA, NASA, CGIAR, N Robinson, NCEAS, NLS, OS, NMA, Geodatastyrelsen, Rijkswaterstaat, GSA, Geoland, FEMA, Intermap and the GIS user community, Esri Community Maps Contributors, Oregon State Parks, State of Oregon GEO, © OpenStreetMap, Microsoft, Esri,

Water Distribution System - No Aerial

Sources: Esri, Airbus DS, USGS, NGA, NASA, CGIAR, N Robinson, NCEAS, NLS, OS, NMA, Geodatastyrelsen, Rijkswaterstaat, GSA, Geoland, FEMA, Intermap and the GIS user community, Esri Community Maps Contributors, Oregon State Parks, State of Oregon GEO, © OpenStreetMap, Microsoft, Esri,

Waste Water Collection System - Aerial

Sources: Esri, Airbus DS, USGS, NGA, NASA, CGIAR, N Robinson, NCEAS, NLS, OS, NMA, Geodatastyrelsen, Rijkswaterstaat, GSA, Geoland, FEMA, Intermap and the GIS user community, Esri Community Maps Contributors, Oregon
Parks, State of Oregon GEO, © OpenStreetMap, Microsoft, Esri,

Waste Water Collection System - No Aerial

Sources: Esri, Airbus DS, USGS, NGA, NASA, CGIAR, N Robinson, NCEAS, NLS, OS, NMA, Geodatastyrelsen, Rijkswaterstaat, GSA, Geoland, FEMA, Intermap and the GIS user community, Esri Community Maps

Oregon State Parks, State of Oregon GEO, © OpenStreetMap, Microsoft, Esri,

Contributors,

Stormwater - Aerial

Sources: Esri, Airbus DS, USGS, NGA, NASA, CGIAR, N Robinson, NCEAS, NLS, OS, NMA, Geodatastyrelsen, Rijkswaterstaat, GSA, Geoland, FEMA, Intermap and the GIS user community, Esri Community Maps Contributors, Oregon State Parks, State of Oregon GEO, © OpenStreetMap, Microsoft, Esri,

Stormwater - No Aerial

Sources: Esri, Airbus DS, USGS, NGA, NASA, CGIAR, N Robinson, NCEAS, NLS, OS, NMA, Geodatastyrelsen, Rijkswaterstaat, GSA, Geoland, FEMA, Intermap and the GIS user community, Esri Community Maps Contributors, Oregon State Parks, State of Oregon GEO, © OpenStreetMap, Microsoft, Esri,

Natural Gas - Aerial

Sources: Esri, Airbus DS, USGS, NGA, NASA, CGIAR, N Robinson, NCEAS, NLS, OS, NMA, Geodatastyrelsen, Rijkswaterstaat, GSA, Geoland, FEMA, Intermap and the GIS user community, Esri Community Maps Contributors, Oregon State Parks, State of Oregon GEO, © OpenStreetMap, Microsoft, Esri,

Natural Gas - No Aerial

8/21/2024, 10:43:42 AM

NATURAL GAS

Esri,

Sources:
Airbus DS, USGS, NGA, NASA, CGIAR, N Robinson, NCEAS, NLS, OS, NMA, Geodatastyrelsen, Rijkswaterstaat, GSA, Geoland, FEMA, Intermap and the GIS user community, Esri Community Maps Contributors, Oregon State Parks, State of Oregon GEO, © OpenStreetMap, Microsoft, Esri,
Community Maps Contributors, Oregon State Parks, State of Oregon GEO, © OpenStreetMap, Microsoft, Esri, TomTom, Garmin, SafeGraph, GeoTechnologies, Inc, METI/NASA, USGS, Bureau of Land Management, EPA, NPS, US Census Bureau,

2138 SW 2nd Ct, Redmond, Oregon, 97756

ACS Population Summary

2138 SW 2nd Ct, Redmond, Oregon, 97756

Ring: 1 mile radius

ACS Population Summary

2138 SW 2nd Ct, Redmond, Oregon, 97756

Ring: 1 mile radius

Source: U.S. Census Bureau, 2018-2022 American Community Survey

ACS Population Summary

2138 SW 2nd Ct, Redmond, Oregon, 97756

Ring: 1 mile radius

POPULATION AGE 5+ YEARS BY LANGUAGE SPOKEN AT HOME AND ABILITY TO SPEAK ENGLISH

5 to 17 years

ACS Population Summary

2138 SW 2nd Ct, Redmond, Oregon, 97756

Ring: 1 mile radius

ACS Population Summary

2138 SW 2nd Ct, Redmond, Oregon, 97756

Ring: 1 mile radius

WORKERS AGE 16+ YEARS BY MEANS OF TRANSPORTATION TO WORK

WORKERS

Source: U.S. Census Bureau, 2018-2022 American Community Survey Reliability:

ACS Population Summary

2138 SW 2nd Ct, Redmond, Oregon, 97756

Ring: 1 mile radius

ACS Population Summary

2138 SW 2nd Ct, Redmond, Oregon, 97756

Ring: 1 mile radius

BY RATIO OF INCOME TO POVERTY

CIVILIAN POPULATION AGE 18 OR OLDER BY VETERAN STATUS

CIVILIAN VETERANS AGE 18 OR OLDER BY PERIOD OF

Source:

ACS Population Summary

2138 SW 2nd Ct, Redmond, Oregon, 97756

Ring: 1 mile radius

by

Data Note: N/A means not available. Population by Ratio of Income to Poverty Level represents persons for whom poverty status is determined. Household income represents income in 2022, adjusted for inflation.

2018-2022 ACS Estimate: The American Community Survey (ACS) replaces census sample data. Esri is releasing the 2018-2022 ACS estimates, five-year period data collected monthly from January 1, 2018 through December 31, 2022. Although the ACS includes many of the subjects previously covered by the decennial census sample, there are significant differences between the two surveys including fundamental differences in survey design and residency rules.

Margin of error (MOE): The MOE is a measure of the variability of the estimate due to sampling error. MOEs enable the data user to measure the range of uncertainty for each estimate with 90 percent confidence. The range of uncertainty is called the confidence interval, and it is calculated by taking the estimate +/- the MOE. For example, if the ACS reports an estimate of 100 with an MOE of +/- 20, then you can be 90 percent certain the value for the whole population falls between 80 and 120.

Reliability: These symbols represent threshold values that Esri has established from the Coefficients of Variation (CV) to designate the usability of the estimates. The CV measures the amount of sampling error relative to the size of the estimate, expressed as a percentage.

High Reliability: Small CVs (less than or equal to 12 percent) are flagged green to indicate that the sampling error is small relative to the estimate and the estimate is reasonably reliable.

Medium Reliability: Estimates with CVs between 12 and 40 are flagged yellow-use with caution.

Low Reliability: Large CVs (over 40 percent) are flagged red to indicate that the sampling error is large relative to the estimate. The estimate is considered very unreliable.

Source: U.S. Census Bureau, 2018-2022 American Community Survey Reliability: high medium low August 21, 2024

ACS Population Summary

2138 SW 2nd Ct, Redmond, Oregon, 97756

Ring: 3 mile radius

AGE 3+ YEARS BY SCHOOL ENROLLMENT

ACS Population Summary

2138 SW 2nd Ct, Redmond, Oregon, 97756

Ring: 3 mile radius

Source: U.S. Census Bureau, 2018-2022 American Community Survey

ACS Population Summary

2138 SW 2nd Ct, Redmond, Oregon, 97756

Ring: 3 mile radius

POPULATION AGE 5+ YEARS BY LANGUAGE SPOKEN AT HOME AND ABILITY TO SPEAK ENGLISH

5 to 17 years

18 to 64 years

Source:

65 years and over

ACS Population Summary

2138 SW 2nd Ct, Redmond, Oregon, 97756

Ring: 3 mile radius

WORKERS AGE 16+ YEARS BY PLACE OF WORK

POPULATION IN HOUSEHOLDS AND PRESENCE OF A COMPUTER

ACS Population Summary

2138 SW 2nd Ct, Redmond, Oregon, 97756

Ring: 3 mile radius

WORKERS AGE 16+ YEARS BY MEANS OF TRANSPORTATION TO WORK

WORKERS AGE 16+ YEARS (WHO DID NOT WORK FROM HOME)

ACS Population Summary

2138 SW 2nd Ct, Redmond, Oregon, 97756

Ring: 3 mile radius

ACS Population Summary

2138 SW 2nd Ct, Redmond, Oregon, 97756

Ring: 3 mile radius

BY RATIO OF INCOME TO POVERTY

CIVILIAN POPULATION AGE 18 OR OLDER BY VETERAN STATUS

CIVILIAN VETERANS AGE 18 OR OLDER BY PERIOD OF

SERVICE

Source:

ACS Population Summary

2138 SW 2nd Ct, Redmond, Oregon, 97756

Ring: 3 mile radius

Data Note: N/A means not available. Population by Ratio of Income to Poverty Level represents persons for whom poverty status is determined. Household income represents income in 2022, adjusted for inflation.

2018-2022 ACS Estimate: The American Community Survey (ACS) replaces census sample data. Esri is releasing the 2018-2022 ACS estimates, five-year period data collected monthly from January 1, 2018 through December 31, 2022. Although the ACS includes many of the subjects previously covered by the decennial census sample, there are significant differences between the two surveys including fundamental differences in survey design and residency rules.

Margin of error (MOE): The MOE is a measure of the variability of the estimate due to sampling error. MOEs enable the data user to measure the range of uncertainty for each estimate with 90 percent confidence. The range of uncertainty is called the confidence interval, and it is calculated by taking the estimate +/- the MOE. For example, if the ACS reports an estimate of 100 with an MOE of +/- 20, then you can be 90 percent certain the value for the whole population falls between 80 and 120.

Reliability: These symbols represent threshold values that Esri has established from the Coefficients of Variation (CV) to designate the usability of the estimates. The CV measures the amount of sampling error relative to the size of the estimate, expressed as a percentage.

High Reliability: Small CVs (less than or equal to 12 percent) are flagged green to indicate that the sampling error is small relative to the estimate and the estimate is reasonably reliable.

Medium Reliability: Estimates with CVs between 12 and 40 are flagged yellow-use with caution.

Low Reliability: Large CVs (over 40 percent) are flagged red to indicate that the sampling error is large relative to the estimate. The estimate is considered very unreliable.

Source: U.S. Census Bureau, 2018-2022 American Community Survey Reliability: high medium low August 21, 2024

ACS Population Summary

2138 SW 2nd Ct, Redmond, Oregon, 97756

Ring: 5 mile radius

AGE 3+ YEARS BY SCHOOL ENROLLMENT

ACS Population Summary

2138 SW 2nd Ct, Redmond, Oregon, 97756

Ring: 5 mile radius

HOUSEHOLDS BY PRESENCE OF PEOPLE 65 YEARS AND OVER, HOUSEHOLD SIZE AND HOUSEHOLD TYPE

ACS Population Summary

2138 SW 2nd Ct, Redmond, Oregon, 97756

Ring: 5 mile radius

POPULATION AGE 5+ YEARS BY LANGUAGE SPOKEN AT HOME AND ABILITY TO SPEAK ENGLISH

5 to 17 years

18 to 64 years

65 years and over

ACS Population Summary

2138 SW 2nd Ct, Redmond, Oregon, 97756

Ring: 5 mile radius

WORKERS AGE 16+ YEARS BY PLACE OF WORK

POPULATION IN HOUSEHOLDS AND PRESENCE OF A COMPUTER

ACS Population Summary

2138 SW 2nd Ct, Redmond, Oregon, 97756

Ring: 5 mile radius

WORKERS AGE 16+ YEARS BY MEANS OF TRANSPORTATION TO WORK

WORKERS AGE 16+ YEARS (WHO DID NOT WORK FROM HOME)

ACS Population Summary

2138 SW 2nd Ct, Redmond, Oregon, 97756

Ring: 5 mile radius

ACS Population Summary

2138 SW 2nd Ct, Redmond, Oregon, 97756

Ring: 5 mile radius

BY RATIO OF INCOME TO POVERTY

CIVILIAN POPULATION AGE 18 OR OLDER BY VETERAN STATUS

CIVILIAN VETERANS AGE 18 OR OLDER BY PERIOD OF

Source:

ACS Population Summary

2138 SW 2nd Ct, Redmond, Oregon, 97756

Ring: 5 mile radius

Data Note: N/A means not available. Population by Ratio of Income to Poverty Level represents persons for whom poverty status is determined. Household income represents income in 2022, adjusted for inflation.

2018-2022 ACS Estimate: The American Community Survey (ACS) replaces census sample data. Esri is releasing the 2018-2022 ACS estimates, five-year period data collected monthly from January 1, 2018 through December 31, 2022. Although the ACS includes many of the subjects previously covered by the decennial census sample, there are significant differences between the two surveys including fundamental differences in survey design and residency rules.

Margin of error (MOE): The MOE is a measure of the variability of the estimate due to sampling error. MOEs enable the data user to measure the range of uncertainty for each estimate with 90 percent confidence. The range of uncertainty is called the confidence interval, and it is calculated by taking the estimate +/- the MOE. For example, if the ACS reports an estimate of 100 with an MOE of +/- 20, then you can be 90 percent certain the value for the whole population falls between 80 and 120.

Reliability: These symbols represent threshold values that Esri has established from the Coefficients of Variation (CV) to designate the usability of the estimates. The CV measures the amount of sampling error relative to the size of the estimate, expressed as a percentage.

High Reliability: Small CVs (less than or equal to 12 percent) are flagged green to indicate that the sampling error is small relative to the estimate and the estimate is reasonably reliable.

Medium Reliability: Estimates with CVs between 12 and 40 are flagged yellow-use with caution.

Low Reliability: Large CVs (over 40 percent) are flagged red to indicate that the sampling error is large relative to the estimate. The estimate is considered very unreliable.

Source: U.S. Census Bureau, 2018-2022 American Community Survey

Reliability: high medium low August 21, 2024

Market Profile

Data Note: Household population includes persons not residing in group quarters. Average Household Size is the household population divided by total households. Persons in families include the householder and persons related to the householder by birth, marriage, or adoption. Per Capita Income represents the income received by all persons aged 15 years and over divided by the total population.

Source: Esri forecasts for 2024 and 2029. U.S. Census Bureau 2000 and 2010 decennial Census data converted by Esri into 2020 geography. August 21, 2024

2024 Households by Income

Market Profile

2138 SW 2nd Ct, Redmond, Oregon, 97756

Rings: 1, 3, 5 mile radii

$1,000,000 - $1,499,999

Data Note: Income represents the preceding year, expressed in current dollars. Household income includes wage and salary earnings, interest dividends, net rents, pensions, SSI and welfare payments, child support, and alimony.

Source: Esri forecasts for 2024 and 2029. U.S. Census Bureau 2000 and 2010 decennial Census data converted by Esri into 2020 geography. August 21, 2024

Source: Esri forecasts for 2024 and 2029. U.S. Census Bureau 2000 and 2010 decennial Census data converted by Esri into 2020 geography. August 21, 2024

Market Profile

2138 SW 2nd Ct, Redmond, Oregon, 97756

Rings: 1, 3, 5 mile radii

Data Note: Persons of Hispanic Origin may be of any race. The Diversity Index measures the probability that two people from the same area will be from different race/ethnic groups.

Source: Esri forecasts for 2024 and 2029. U.S. Census Bureau 2000 and 2010 decennial Census data converted by Esri into 2020 geography. August 21, 2024

Market Profile

2138 SW 2nd Ct, Redmond, Oregon, 97756

Rings: 1, 3, 5 mile radii

2020 Population by Relationship and Household Type

Source: Esri forecasts for 2024 and 2029. U.S. Census Bureau 2000 and 2010 decennial Census data

Market Profile

2138 SW 2nd Ct, Redmond, Oregon, 97756

Source: Esri forecasts for 2024 and 2029. U.S. Census Bureau 2000 and 2010 decennial Census data

Market Profile

2138 SW 2nd Ct, Redmond, Oregon, 97756

1, 3, 5 mile radii

Data Note: Households with children include any households with people under age 18, related or not. Multigenerational households are families with 3 or more parent-child relationships. Unmarried partner households are usually classified as nonfamily households unless there is another member of the household related to the householder. Multigenerational and unmarried partner households are reported only to the tract level. Esri estimated block group data, which is used to estimate polygons or non-standard geography.

Source: Esri forecasts for 2024 and 2029. U.S. Census Bureau 2000 and 2010 decennial Census data converted by Esri into 2020 geography. August 21, 2024

Data Note: Consumer spending shows the amount spent on a variety of goods and services by households that reside in the area. Expenditures are shown by broad budget categories that are not mutually exclusive. Consumer spending does not equal business revenue. Total and Average Amount Spent Per Household represent annual figures. The Spending Potential Index represents the amount spent in the area relative to a national average of 100.

Source: Consumer Spending data are derived from the 2019 and 2020 Consumer Expenditure Surveys, Bureau of Labor Statistics. Esri. Source: Esri forecasts for 2024 and 2029. U.S. Census Bureau 2000 and 2010 decennial Census data converted by Esri into 2020 geography. August 21, 2024

Traffic Count Map

2138 SW 2nd Ct, Redmond, Oregon, 97756

Source: ©2024 Kalibrate Technologies (Q2 2024).

August 21, 2024

Turn static files into dynamic content formats.

Create a flipbook
Issuu converts static files into: digital portfolios, online yearbooks, online catalogs, digital photo albums and more. Sign up and create your flipbook.
2138 SW 2nd Ct Redmond - Property Development Pkg by info-deschutestitle - Issuu