146613 Wild Cougar Ln Gilchrist - Homebook

Page 1

146613 Wild Cougar Ln |Gilchrist|Oregon|97737 Prepared By: Danetta Rider 845 SW Veterans Way Redmond, OR 97760 Office: 541-527-1274 Email: danettar@deschutestitle.com “Service is the Difference” Homebook DISCLAIMER: Deschutes County Title has provided this information as a courtesy and assumes no liability for errors, omissions, or the accuracy of the data and does not warranty the fitness of this product for any particular purpose. Bend 397 SW Upper Terrace Dr Bend, Oregon 97702 Office: 541.389.2120 Fax: 541.389.2180 Redmond 845 SW Veterans Way Redmond, Oregon 97756 Office: 541.527.1274 Fax: 541.527.1281 La Pine 51515 Huntington Rd La Pine, Oregon 97739 Office: 541.876.6990 Fax: 541.876.2740 St Helens 240 South First Street St. Helens, Oregon 97051 Office: 503.397.2587 Fax: 503.366.1708 Prepared for Crystal Young crystal.bendhomes@gmail.com (541) 788-0800

GUIDE TO CLOSING COSTS

*Customary for Seller to Pay

TypeofFinancing

RealEstateAgentCommissions

Reconveyance/ReleaseFees

PrepaymentPenalties(IfApplicable)

Owner'sTitleInsurance

EscrowFee

TaxProrations

LienSearch(ifapplicable)

Mortgages&Encumbrances

AnyPropertyTaxDue

Buyer'sLenderFees(variesbylender)

*Customary for Buyer to Pay

TypeofFinancing

AppraisalFee

LoanOriginationFee/Discount

CreditFee

MortgageInsurance(ifapplicable)

ReserveSetUpFee(ifapllicable)

FireInsurance1year(homeownerspolicy)

Floodinsurance(ifapplicable)

FloodandTaxCertifications

PrepaidInterest

HomeOwnersAssociationFees(ifapplicable)

VAFundingFee

RecordingFee

TaxProration

EscrowFee

LendersTitleInsurance

* Items listed are intended to represent only what may be customarily charged and may not reflect actual charges at closing. Consult with your real estate professional or title company representtaive for actual charges specific to your transaction.

Seller to pay full escrow fee (includes buyer escrow fee)

VA ● ● ● ● ● ● ● ● ● ● ● ● ● ● ● ● ● ● ● ● ● ● ● ● ● ● ● ● ● ● ● ● ● ● ● ● ● ConventionalFHA VA ● ● ● ● ● ● ● ● ● ● ● ● ● ● ● ● ● ● ● ● ● ● ● ● ● ● ● ● ● ● ● ● ● ● ● ● ● ● ● ● ● ● ● ● ●
ConventionalFHA
Cash (no loan) Cash
(no loan)
Deschutes Title Market Report Gilchrist, OR 97737 REPORT FOR 5/10/2024 Single-Family Homes Presented by Kevin White 541-389-2120 kwhite@titlemanagement.org www.deschutestitle.com

This week the median list price for Gilchrist, OR 97737 is $442,700 with the market action index hovering around 30. This is an increase over last month's market action index of 18 Inventory has increased to 4.

Market Action Index

This answers “How’s the Market?” by comparing rate of sales versus inventory.

Real-Time Market Profile

Median List Price $442,700 Median Price of New Listings $279,000 Per Square Foot $275

Days on Market 28

Slight Seller's Advantage

Home sales have begun exceeding new inventory. While still a Buyer’s market, prices seem to have already started to respond. If the trend continues, expect prices to keep marching upward.

Market Segments

Slight Seller's Advantage

Each segment below represents approximately 25% of the market ordered by price.

Single-Family Homes
Gilchrist, OR 97737
Average
Median
Market 25 Price Decreased 25% Price Increased 0% Relisted 0% Inventory 4 Median Rent $1,350 Market Action 30
Deschutes Title Market Report deschutestitle.com
Days on
Buyer's Market Seller's Market 0 10 20 30 40 50 60 70 80 90 100 Tod a y LastMonth 30
Median Price Sq. Ft. Lot Size Beds Bath Age New Absorbed DOM $579,900 2,056 1 - 2 5 acres 4 2 45 0 0 28 $524,900 1,948 2.5 - 5 acres 3 2 84 0 1 21 $360,500 720 1 - 2.5 acres 1 1 4 0 0 63 $279,000 1,243 0.25 - 0.5 acre 3 1 85 1 1 0 2 of 6 Fri May 10 2024 Powered by Altos Research, Inc. | www.altos.re | Copyright © 2024 Altos Research, Inc.

Median List Price

The market for this zip code continues its bounce again this week. We’re a long way from the market’s high point so watch the Market Action Index to predict how long this trend will last.

Segments

In the quartile market segments, we see prices across the quartiles of this zip code not tightly correlated recently. Prices in Quartile 1 and 4 have been mixed recently, while the rest of the market is trending downward. Look to a strong, persistent up shift in the Market Action Index as a leading indicator of the trough in the market.

Single-Family Homes Gilchrist, OR 97737 Deschutes Title Market Report deschutestitle.com
7-Day
90-Day Average May 2024 Dec 2023 Jul 2023 Feb 2023 Sep 2022 Apr 2022 Nov 2021 Jun 2021 Jan 2021 Aug 2020 $0
$250K $500K $750K $1.3M
Average
$1.0M
Top 90-Day Upper 90-Day Lower 90-Day Bottom 90-Day May 2024 Dec 2023 Jul 2023 Feb 2023 Sep 2022 Apr 2022 Nov 2021 Jun 2021 Jan 2021 Aug 2020 $0 $1.0M $250K $500K $750K $1.3M 3 of 6 Fri May 10 2024 Powered by Altos Research, Inc. | www.altos.re | Copyright © 2024 Altos Research, Inc.

Price Per Square Foot

In a market where prices are rising mildly, price per square foot is essentially flat. This often implies that new homes coming on the market are pricier, and also larger than older homes. As a result the value one can buy stays the same. 7-Day Average

Inventory has been climbing lately. Note that rising inventory alone does not signal a weakening market. Look to the Market Action Index and Days on Market trends to gauge whether buyer interest is keeping up with available supply.

Single-Family Homes Gilchrist, OR 97737 Deschutes Title Market Report deschutestitle.com
Average May 2024 Dec 2023 Jul 2023 Feb 2023 Sep 2022 Apr 2022 Nov 2021 Jun 2021 Jan 2021 Aug 2020 $0 $100 $200 $300 $400 $500 $600 Inventory
90-Day
7-Day Average 90-Day Average May 2024 Dec 2023 Jul 2023 Feb 2023 Sep 2022 Apr 2022 Nov 2021 Jun 2021 Jan 2021 Aug 2020 0 1 2 3 4 5 6 4 of 6 Fri May 10 2024 Powered by Altos Research, Inc. | www.altos.re | Copyright © 2024 Altos Research, Inc.

Market Action Index

Home sales have begun exceeding new inventory. While still a Buyer’s market, prices seem to have already started to respond. If the trend continues, expect prices to keep marching upward. 7-Day Average

Market Action Segments

Three of the four quartiles of this zip code are in the Seller’s Market zone with relatively low amounts of inventory given the current levels of demand. It’s not uncommon that the premium segment of the market takes longer to sell than the rest of the group.

Single-Family Homes Gilchrist, OR 97737 Deschutes Title Market Report deschutestitle.com
90-Day
May 2024 Dec 2023 Jul 2023 Feb 2023 Sep 2022 Apr 2022 Nov 2021 Jun 2021 Jan 2021 Aug 2020 0 100 25 50 75 125
Average
Top 90-Day Upper 90-Day Lower 90-Day Bottom 90-Day May 2024 Dec 2023 Jul 2023 Feb 2023 Sep 2022 Apr 2022 Nov 2021 Jun 2021 Jan 2021 Aug 2020 0 20 40 60 80 5 of 6 Fri May 10 2024 Powered by Altos Research, Inc. | www.altos.re | Copyright © 2024 Altos Research, Inc.

Median Days on Market (DOM)

The properties have been on the market for an average of 16 days. Half of the listings have come newly on the market in the past 13 or so days. Watch the 90-day DOM trend for signals of a changing market.

Segments

It is not uncommon for the higher priced homes in an area to take longer to sell than those in the lower quartiles.

Single-Family Homes Gilchrist, OR 97737 Deschutes Title Market Report deschutestitle.com
7-Day Average 90-Day Average May 2024 Dec 2023 Jul 2023 Feb 2023 Sep 2022 Apr 2022 Nov 2021 Jun 2021 Jan 2021 Aug 2020 0 50 100 150 200 250
Top 90-Day Upper 90-Day Lower 90-Day Bottom 90-Day May 2024 Dec 2023 Jul 2023 Feb 2023 Sep 2022 Apr 2022 Nov 2021 Jun 2021 Jan 2021 Aug 2020 0 50 100 150 200 250 300 6 of 6 Fri May 10 2024 Powered by Altos Research, Inc. | www.altos.re | Copyright © 2024 Altos Research, Inc.

AreaProfiled:JackPineVillage

ReportDate: 05/09/2024

SalesDates: 03/01/1985-01/25/2024

NumberofParcels:106

WaterfrontParcels:0

AverageSalePricebyYear:01/01/2016-05/09/2024

*33sale(s)areincludedinthegraph

SalesStatisticsbyYear:01/01/2016-05/09/2024

*28sale(s)areincludedinthetable

**5sale(s)withnosalepriceorbuildingsqftareexcludedfromthetable

OwnerOccupancy

ParcelswithViews:0

LengthofResidence

AverageLengthofResidence

*86parcel(s)areincludedinthecalculation

**20parcel(s)withnosaledateareexcluded fromthecalculation

AgeofHomes

AverageAgeofHome

AssessedValues

AverageValues

13yr(s) OwnershipLength # %ofHomes 0-2Years 9 10% 2-4Years 8 9% 4-6Years 5 5% 6-10Years 19 22% 10+Years 45 52%
Year # Sales Price/SqFtPrice/FinSqFt % Turnover AvgSale Price MinSale Price MaxSale Price 2016 4 $78 $78 4 $101,400 $36,500 $189,100 2017 3 $125 $125 3 $113,667 $86,000 $140,001 2018 3 $142 $142 3 $163,533 $125,100 $195,500 2019 3 $132 $132 3 $180,633 $56,900 $275,000 2020 2 $78 $78 2 $144,500 $30,000 $259,000 2021 3 $243 $243 3 $331,667 $285,000 $425,000 2022 7 $225 $225 7 $247,857 $80,000 $389,000 2023 2 $222 $222 2 $347,500 $270,000 $425,000 2024 1 $239 $239 <1% $275,000 $275,000 $275,000
32yr(s) YearBuilt # %ofHomes <5Years 8 8% 5-10Years 5 5% 10+Years 96 91%
OwnerMail # %ofHomes OwnerOccupied 53 50% InStateNon-OwnerOcc 45 42% OutofState 8 8%
$79,354 YearAssessment # %ofHomes $1k-$250k 106 100%
0 0%
0 0%
0 0%
0 0% InformationisdeemedreliablebutnotguaranteedPoweredbygeoAdvantage
$251k-$500k
$501k-$750k
$751k-$15M
$15M+

Property Profile Taxes Deed

KLAMATHCOUNTYPROPERTYPROFILEINFORMATION

Parcel#:134394

TaxLot:2309-025A0-04300

Owner:WristenLivingTrustEtAl

CoOwner:

Site:146613WildCougarLn GilchristOR97737

Mail:146613WildCougarLn GilchristOR97737

LandUse:109-ResidentialWithMfs

StdLandUse:CMOB-MobileHomeParks,Trailers

Legal:Subdivision:JACKPINEVILLAGEBlock:2Lots:2

Twn/Rng/Sec:T:23SR:09ES:25Q:NEQQ: ASSESSMENT&TAXINFORMATION PROPERTYCHARACTERISTICS

MarketTotal:$180,197.00

MarketLand:$93,210.00

MarketImpr:$86,987.00

AssessmentYear:2023

AssessedTotal:$105,080.00

Exemption:

Taxes:$1,322.33

LevyCode:251

LevyRate:123366

SALE&LOANINFORMATION

SaleDate:04/01/2018

SaleAmount:$179,90000

Document#:

DeedType:W

LoanAmount:

Lender:

LoanType:

InterestType:

TitleCo:

YearBuilt:2006

EffYearBuilt: Bedrooms:3 Bathrooms:2

#ofStories: TotalSqFt:1,404SqFt

Floor1SqFt: Floor2SqFt:

BasementSqFt: Lotsize:097Acres(42,253SqFt)

GarageSqFt: GarageType: AC: Pool:

HeatSource: Fireplace:

BldgCondition: Neighborhood: Lot:2

Block:2

Plat/Subdiv:JackPineVillage Zoning:R2-RuralResidential2ac

SchoolDist:11-KlamathCounty Census:2440-970100

Recreation:

SentryDynamics,Inc anditscustomersmakenorepresentations,warrantiesorconditions,expressorimplied,astotheaccuracyorcompletenessofinformationcontainedinthisreport

SUMMARY OF TAX ACCOUNT

KLAMATH FALLS, OR 97601

2023 ADVALOREM $0.00 $0.00 $0.00 $0.00 $1,322.33 Nov 15, 2023 2022 ADVALOREM $0.00 $0.00 $0.00 $0.00 $1,288.18 Nov 15, 2022 2021 ADVALOREM $0.00 $0.00 $0.00 $0.00 $1,251.89 Nov 15, 2021 2020 ADVALOREM $0.00 $0.00 $0.00 $0.00 $1,215.84 Nov 15, 2020 2019 ADVALOREM $0.00 $0.00 $0.00 $0.00 $879.10 Nov 15, 2019 2018 ADVALOREM $0.00 $0.00 $0.00 $0.00 $202.72 Nov 15, 2018 2017 ADVALOREM $0.00 $0.00 $0.00 $0.00 $198.28 Nov 15, 2017 2016 ADVALOREM $0.00 $0.00 $0.00 $0.00 $199.37 Nov 15, 2016 2015 ADVALOREM $0.00 $0.00 $0.00 $0.00 $0.00 Nov 15, 2015 2014 ADVALOREM $0.00 $0.00 $0.00 $0.00 $0.00 Nov 15, 2014 2013 ADVALOREM $0.00 $0.00 $0.00 $0.00 $0.00 Nov 15, 2013 2012 ADVALOREM $0.00 $0.00 $0.00 $0.00 $0.00 Nov 15, 2012 2011 ADVALOREM $0.00 $0.00 $0.00 $0.00 $0.00 Nov 15, 2011 2010 ADVALOREM $0.00 $0.00 $0.00 $0.00 $0.00 Nov 15, 2010 2009 ADVALOREM $0.00 $0.00 $0.00 $0.00 $0.00 Nov 15, 2009 2008 ADVALOREM $0.00 $0.00 $0.00 $0.00 $151.95 Nov 15, 2008 2007 ADVALOREM $0.00 $0.00 $0.00 $0.00 $183.06 Nov 15, 2007 2006 ADVALOREM $0.00 $0.00 $0.00 $0.00 $181.34 Nov 15, 2006 2005 ADVALOREM $0.00 $0.00 $0.00 $0.00 $176.37 Nov 15, 2005 2004 ADVALOREM $0.00 $0.00 $0.00 $0.00 $171.43 Nov 15, 2004 2003 ADVALOREM $0.00 $0.00 $0.00 $0.00 $170.26 Nov 15, 2003 2002 ADVALOREM $0.00 $0.00 $0.00 $0.00 $167.90 Nov 15, 2002 2001 ADVALOREM $0.00 $0.00 $0.00 $0.00 $178.31 Nov 15, 2001 2000 ADVALOREM $0.00 $0.00 $0.00 $0.00 $138.74 Nov 15, 2000 1999 ADVALOREM $0.00 $0.00 $0.00 $0.00 $156.61 Nov 15, 1999 1998 ADVALOREM $0.00 $0.00 $0.00 $0.00 $155.40 Nov 15, 1998 1997 ADVALOREM $0.00 $0.00 $0.00 $0.00 $147.25 Dec 15, 1997 1996 ADVALOREM $0.00 $0.00 $0.00 $0.00 $161.47 Nov 15, 1996 1995 ADVALOREM $0.00 $0.00 $0.00 $0.00 $148.14 Nov 15, 1995 1994 ADVALOREM $0.00 $0.00 $0.00 $0.00 $150.28 Nov 15, 1994 1993 ADVALOREM $0.00 $0.00 $0.00 $0.00 $183.38 Nov 15, 1993 1992 ADVALOREM $0.00 $0.00 $0.00 $0.00 $203.55 Nov 15, 1992 1991 ADVALOREM $0.00 $0.00 $0.00 $0.00 $213.93 Nov 15, 1991 1990 ADVALOREM $0.00 $0.00 $0.00 $0.00 $163.06 Nov 15, 1990
(541) 883-4297 WRISTEN LIVING TRUST ET AL 146613 WILD COUGAR LN GILCHRIST OR 97737 10-May-2024 134394 Tax Account # Account Status Roll Type Situs Address A Real 146613 WILD COUGAR LN GILCHRIST OR 97737 Tax Summary Tax Year Tax Type Total Due Current Due Interest Due Discount Available Original Due Due Date 251 May 10, 2024 Lender Name Loan Number Property ID Interest To
KLAMATH COUNTY TAX COLLECTOR 305 MAIN
ROOM 121 $0.00 $0.00 $0.00 $0.00 Total
STREET

SUMMARY OF TAX ACCOUNT

KLAMATH FALLS, OR 97601 KLAMATH

(541) 883-4297 WRISTEN
AL 146613
GILCHRIST
134394 Tax Account # Account Status Roll Type Situs Address A Real 146613 WILD COUGAR LN GILCHRIST OR 97737 Tax Summary Tax Year Tax Type Total Due Current Due Interest Due Discount Available Original Due Due Date 251 May 10, 2024 Lender Name Loan Number Property ID Interest To
LIVING TRUST ET
WILD COUGAR LN
OR 97737 10-May-2024
TAX
305 MAIN STREET ROOM 121
COUNTY
COLLECTOR

KLAMATH COUNTY, OREGON PROPERTY TAX STATEMENT

134394 TAX ACCOUNT NO. MAP: 146613 WILD COUGAR LN GILCHRIST SITUS: WRISTEN LIVING TRUST ET AL 146613 WILD COUGAR LN GILCHRIST OR 97737 LAND JULY 1, 2023 TO JUNE 30, 2024 $ STRUCTURES KLAMATH COUNTY TAX COLLECTOR 305 MAIN STREET, RM 121 KLAMATH FALLS, OR 97601 (541) 883-4297 134394 TAX ACCOUNT NO. 0.97 ACRES: 2309-025A0-04300 CODE: 251 VALUES: TOTAL RMV TAXABLE ASSESSED EXEMPTIONS NET TAXABLE TAX LEVIED LAST YEAR THIS YEAR 63,580 154,677 218,257 93,210 196,075 289,285 99,050 99,050 1,288.18 102,020 102,020 1,322.33 PAYMENT OPTIONS: BY MAIL (POSTMARK ACCEPTED), IN PERSON, OVER THE PHONE 833-819-5120, OR ONLINE AT KLAMATHCOUNTY.ORG ASSESSMENT / ADDRESS / OWNER QUESTIONS: (541) 883-5111 $1,282.66 TOTAL DUE Tear Here ↑ Tear Here ↑ PLEASE INCLUDE THIS COUPON WITH YOUR PAYMENT — NO STAPLES, PAPER CLIPS, OR TAPE Payment Options Full Payment by 2/3 Payment by 1/3 Payment by 440.78 863.92 1,282.66 Discount is Lost & Interest Applies After Due Date Mailing Address Change on Back Enter Payment Amount WRISTEN LIVING TRUST ET AL 146613 WILD COUGAR LN GILCHRIST OR 97737 MAKE CHECK PAYABLE TO: KLAMATH COUNTY TAX COLLECTOR 305 Main Street, RM 121 18100001343940000044078000008639200001282660 REAL PROPERTY DESCRIPTION PCL: 109 Klamath Falls, OR 97601 LEGAL: November 15, 2023 Payment Due by 39.67 17.63 440.78 440.78 None 863.92 02/15/24 Payment Schedule 11/15/23 1/3 Payment No Discount 1,282.66 05/15/24 Savings 440.77 2/3 Payment 2% Discount 440.78 Full Payment 3% Discount Klamath County Real Property Taxes 2023-2024
November 15, 2023 Payment Due by Fees Apply: E-Check $1.50, Visa Debit $3.50, Credit and all other Debit 2.43% To pay online scan the code on your mobile device: www.paydici.com/klamath-county-or/search/new Or by Phone: 1-833-819-5120 (After 3% Discount and Prepayments and Including Any Delinquent Taxes) 146613 WILD COUGAR LN GILCHRIST SITUS: 0.97 ACRES: November 15, 2023 ... includes 3% Discount ... includes 2% Discount ... No Discount Net Amount Due by 11/15/23 11/15/23 11/15/23 Klamath County Schools 413.37 Central OR ED 63.29 So. OR Education 35.95 EDUCATION TOTAL: 512.61 Klamath County 176.76 Museum 5.10 Library 49.99 Klamath County Extension SVC 15.30 CRESCENT FIRE 166.56 Crescent Fire local option 88.76 Jackpine Village Road 153.03 911 15.72 911OP 8.16 GENERAL GOVT TOTAL: 679.38 Klamath County Schools Bond 13 55.89 Central OR ED Outside M50 8.20 Fire Patrol Surcharge 47.50 Walker Range Timber 18.75 BONDS - OTHER TOTAL: 130.34
Mailing Map 2309-025A0-04300 Code-TaxID 251-134394 109 109000 Assessable Active Subtype NORMAL Block-2Lot-2 04-12-2018/$179,900 Appraiser UNKNOWN SiteCity GILCHRIST AmountAcresYear  2023 251 AmountAcresYear  2023 Area Year Built Stat ClassDescription%Ex% 25112006452100 220191301330 AreaRFPD Plan Zone%Size 251100 1161 RMVMAV 251 LandLand 0 ImprImpr 0 0 0

Value History

Real Market Value (RMV)

Real Market Value (RMV) is typically the price your property would sell for in a transaction between a willing buyer and a willing seller on January 1, the assessment date for the tax year.

To estimate the initial RMV for your property, your county assessor appraises your property using a physical inspection and a comparison of market data from similar properties. For ensuing tax years, your county assessor may study trends of similar properties to update the RMV for your property.

Maximum Assessed Value (MAV)

Account
Files Property Search Online Account
 Year RMV MAV AV 2023 $289,285 $102,020 $102,020 2022 $218,257 $99,050 $99,050 2021 $141,120 $96,170 $96,170 2020 $124,160 $67,730 $93,370 2019 $93,520 $19,210 $65,760 2018 $31,600 $18,660 $18,660 2017 $34,080 $0 $0 Values 2017 2018 2019 2020 2021 2022 2023 $0 $50,000 $100,000 $150,000 $200,000 $250,000 $300,000 $350,000 RMV MAV AV
Taxes Sales History Value History Reports
134394 Assessment Summary
5/10/24, 8:51AM Property Search Online https://assessorklamathcountyorg/PSO/detail/134394/R 1/2

Maximum Assessed Value (MAV) was established by Ballot Measure 50 for the 1997-98 tax year. MAV is the greater of 103% of the prior year's assessed value (AV), or 100 percent of the prior year's MAV, whichever is greater.

MAV’s for properties that existed prior to 1995 were set based on the 1995-1996 Real Market Value (RMV) less 10%. MAVs for “new” properties (constructed or created after 1995) are set by multiplying the property's Real Market Value (RMV) at the time of construction or creation by the Changed Property Ratio (CPR) for that year.

MAV is the only part of your tax bill where a 3% increase limit applies. However, your MAV can increase above 3 percent of the prior year's assessed value if certain things defined as exceptions are made to your property.

Assessed Value (AV)

Assessed Value (AV) is the lower of last year’s Maximum Assessed Value (MAV) plus 3%, or the current Real Market Value (RMV). This value provides the baseline for your tax bill calculation.

5/10/24, 8:51AM Property Search Online https://assessorklamathcountyorg/PSO/detail/134394/R 2/2

Manufactured Structure

Situs Address

146613 WILD COUGAR LN GILCHRIST, OR 97737

Map and Taxlot

2309-025A0-04300

Real Property Information

Mailing Address

WRISTEN LIVING TRUST ET AL 146613 WILD COUGAR LN GILCHRIST OR 97737

Owner WRISTEN LIVING TRUST ET AL

Account Status A

*Subtype E Stat Class 452 * Account is taxed on Real Property Account

Manufactured Structure

For tax purposes, a manufactured structure is a:

Manufactured dwelling, or Prefabricated structure more than 8½ feet wide that can be moved to a new location, or Recreational vehicle more than 8½ feet wide, constructed for movement on public highways.

It can be used for a residence or for business, commercial, or office purposes. Most manufactured structures are assessed by the county.

Account
Files Property Search Online Account
Value History Reports
900188 Assessment Summary 
Name Ledger Names 
Real Account # 134394 Park Year Built 2006 Brand/Model GOLDEN WEST / Assessment 2023
Market Value Total $104,075 Assessed Value Maximum Assessed
Assessed
$35,260
Real
$35,260
Value
134394
5/10/24, 8:59AM Property Search Online https://assessorklamathcountyorg/PSO/detail/900188/MS 1/1
Map Comments 134394 2309-025A0-04300109 109 Model Brand 2006 Rooms Condition 452 A Mailing Code-TaxID 251-134394Assessable Active Subtype Exempt 309645 Appraiser City GILCHRIST DescriptionClassSqftDimensionsHeatingRMV 51,40499,916 Floors Inventory Size/QtyRMVSize/QtyRMV SKIRTING-CONCRETE BLOCK158 Comments 251 RMVMAVTrendCPR

Account 900188 Assessment Summary 

Value History

Real Market Value (RMV)

Real Market Value (RMV) is typically the price your property would sell for in a transaction between a willing buyer and a willing seller on January 1, the assessment date for the tax year.

To estimate the initial RMV for your property, your county assessor appraises your property using a physical inspection and a comparison of market data from similar properties. For ensuing tax years, your county assessor may study trends of similar properties to

Value
Files Property Search Online
Account
History Reports
Year RMV MAV AV 2023 $104,075 $35,260 $35,260 2022 $52,037 $46,550 $46,550 2021 $57,270 $49,390 $49,390 2020 $57,270 $47,950 $47,950 2019 $57,270 $0 $46,550 Values 2019 2020 2021 2022 2023 $0 $20,000 $40,000 $60,000 $80,000 $100,000 $120,000 RMV MAV AV
5/10/24, 9:03AM Property Search Online https://assessorklamathcountyorg/PSO/detail/900188/MS 1/3

update the RMV for your property.

Maximu m Assessed Value (MAV)

Maximum Assessed Value (MAV) was established by Ballot Measure 50 for the 199798 tax year.

MAV is the greater of 103% of the prior year's assessed value (AV), or 100 percent of the prior year's MAV, whichever is greater.

MAV’s for properties that existed prior to 1995 were set based on the 1995-1996 Real Market Value (RMV) less 10%.

MAVs for “new” properties (constructed or created after 1995) are set by multiplying the property's Real Market Value (RMV) at the time of construction or creation by the Changed Property Ratio (CPR) for that year.

MAV is the only part of your tax bill

5/10/24, 9:03AM Property Search Online https://assessorklamathcountyorg/PSO/detail/900188/MS 2/3

where a 3% increase limit applies. However, your MAV can increase above 3 percent of the prior year's assessed value if certain things defined as exceptions are made to your property.

Assessed Value (AV)

Assessed Value (AV) is the lower of last year’s Maximum Assessed Value (MAV) plus 3%, or the current Real Market Value (RMV). This value provides the baseline for your tax bill calculation.

5/10/24, 9:03AM Property Search Online https://assessorklamathcountyorg/PSO/detail/900188/MS 3/3
For Assessment Year 2023 Account
134394 Situs 146613 WILD COUGAR LN
Mailing WRISTEN LIVING TRUST ET AL 146613 WILD COUGAR LN GILCHRIST OR 97737 Description Bldg Code Area Year Built Sqft Comp % Map 2309-025A0-04300 Stat Class 1 251 2006 100 1,404 $104,075 Total RMV 452 452 - MS Double wide Rooms: 3 - BD, 2 - FB, 1 - DR, 1 - LR, 1 - KT Sqft Floors Description Class Comp % OR % First Floor 1404 5 100 Improvement Inventory Description Qty/Size Description Qty/Size SKIRTING - CONCRETE BLOCK 158
Page
1
Improvement Summary KLAMATH County
ID
GILCHRIST OR 97737
5/10/2024
1 of

1 of 1

For Assessment Year 2023
ET AL
LN
Description Bldg Code Area Year Built Sqft Comp % Map 2309-025A0-04300 Stat Class 2 251 2019 100 0
Total RMV 130 130 - Res Other Improvement Cls 3 Rooms: Improvement Inventory Description Qty/Size Description Qty/Size Accessories Description Size Qty SHOP - UNFINISHED 1320 SHED - METAL, LOW-END 160 DECK - Fir 30 DECK - Fir 144
Page
Improvement Summary KLAMATH County
Account ID 134394 Situs 146613 WILD COUGAR LN GILCHRIST OR 97737 Mailing WRISTEN LIVING TRUST
146613 WILD COUGAR
GILCHRIST OR 97737
$92,000
5/10/2024
5/10/24, 8:52AM 134394 (1024×768) https://assessor.klamathcounty.org/PSO/FileController/FloorPlan/134394?year=2023 1/1

146613 Wild Cougar Ln Aerial Map

This map/plat is being furnished as an aid in locating the herein described land in relation to adjoining streets, natural boundaries and other land, and is not a survey of the land depicted Except to the extent a policy of title insurance is expressly modied by endorsement, if any, the company does not insure dimensions, distances, location of easements, acreage or other matters shown thereon

5/9/24, 4:23 PM Klamath, OR - geoAdvantage by Sentry Dynamics https://clients sentrydynamics net/geo/or/klamath?layout=&min=False 1/1

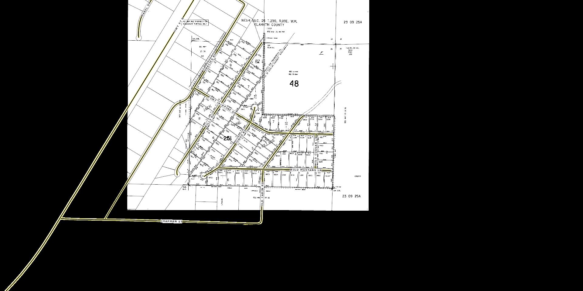
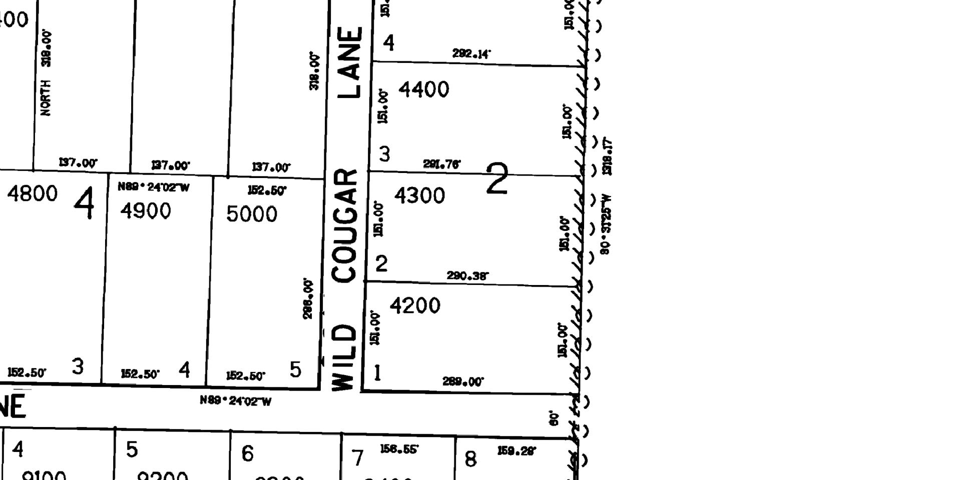
146613 Wild Cougar Ln Assessor's Map

This map/plat is being furnished as an aid in locating the herein described land in relation to adjoining streets, natural boundaries and other land, and is not a survey of the land depicted Except to the extent a policy of title insurance is expressly modied by endorsement, if any, the company does not insure dimensions, distances, location of easements, acreage or other matters shown thereon

5/9/24, 4:23 PM Klamath, OR - geoAdvantage by Sentry Dynamics https://clients sentrydynamics net/geo/or/klamath?layout=&min=False 1/1

Covenants, Conditions and Restrictions

Clink the Hyperlink on the next page to view Electronically

or Click on hyperlink below to view CC&R’s

https://issuu.com/infodeschutestitle/docs/jack_pine_village_all?fr=sMTI5NDY5NjA4MzI

CC&R Hard
Available upon Request
Copies

Property Maps

14 66 1 3 W ild Cougar Ln, Gil christ, OR BEN D LA PIN E SISTE RS RED MOND SUN R IVER 20 97 126 20 20 97 Map Data is deemed reliable but not guaranteed Deschutes County Tit e accepts no respons bility for accuracy 0 0 015 0 03 0 0075 Mi les 2309-025A0-04300 Aeri al Map

146613 Wild Cougar Ln Street Map

This map/plat is being furnished as an aid in locating the herein described land in relation to adjoining streets, natural boundaries and other land, and is not a survey of the land depicted Except to the extent a policy of title insurance is expressly modied by endorsement, if any, the company does not insure dimensions, distances, location of easements, acreage or other matters shown thereon

5/9/24, 4:25 PM Klamath, OR - geoAdvantage by Sentry Dynamics https://clients sentrydynamics net/geo/or/klamath?layout=&min=False 1/1

146613 Wild Cougar Ln Contours Map

This map/plat is being furnished as an aid in locating the herein described land in relation to adjoining streets, natural boundaries and other land, and is not a survey of the land depicted Except to the extent a policy of title insurance is expressly modied by endorsement, if any, the company does not insure dimensions, distances, location of easements, acreage or other matters shown thereon

5/9/24, 4:24 PM Klamath, OR - geoAdvantage by Sentry Dynamics https://clients sentrydynamics net/geo/or/klamath?layout=&min=False 1/1

146613 Wild Cougar Ln Wetlands Map

This map/plat is being furnished as an aid in locating the herein described land in relation to adjoining streets, natural boundaries and other land, and is not a survey of the land depicted Except to the extent a policy of title insurance is expressly modied by endorsement, if any, the company does not insure dimensions, distances, location of easements, acreage or other matters shown thereon

5/9/24, 4:27 PM Klamath, OR - geoAdvantage by Sentry Dynamics https://clients sentrydynamics net/geo/or/klamath?layout=&min=False 1/1

146613 Wild Cougar Ln Wells Map

This map/plat is being furnished as an aid in locating the herein described land in relation to adjoining streets, natural boundaries and other land, and is not a survey of the land depicted Except to the extent a policy of title insurance is expressly modied by endorsement, if any, the company does not insure dimensions, distances, location of easements, acreage or other matters shown thereon

5/9/24, 4:27 PM Klamath, OR - geoAdvantage by Sentry Dynamics https://clients sentrydynamics net/geo/or/klamath?layout=&min=False 1/1
Klamath County Lake County Deschutes County La Pine UGB Urban Grouth Boundary M ap 14 66 1 3 W ild Cougar Ln, Gil christ, OR BEN D LA PIN E SISTE RS RED MOND SUN R IVER 20 97 126 20 20 97 Map Data is deemed reliable but not guaranteed Deschutes County Tit e accepts no respons bility for accuracy 0 3 6 1 5 Mi les 2309-025A0-04300

146613 Wild

Ln Soil Map

This map/plat is being furnished as an aid in locating the herein described land in relation to adjoining streets, natural boundaries and other land, and is not a survey of the land depicted Except to the extent a policy of title insurance is expressly modied by endorsement, if any, the company does not insure dimensions, distances, location of easements, acreage or other matters shown thereon

Cougar
5/9/24, 4:25 PM Klamath, OR - geoAdvantage by Sentry Dynamics https://clients sentrydynamics net/geo/or/klamath?layout=&min=False 1/1
Klamath County Lake County Deschutes County
La
D Station
14 66 1 3 W ild Cougar Ln, Gil christ, OR BEN D LA PIN E SISTE RS RED MOND SUN R IVER 20 97 126 20 20 97 Map Data is deemed reliable but not guaranteed Deschutes County Tit e accepts no respons bility for accuracy 0 3 6 1 5 Mi les 2309-025A0-04300
Map
Deschu tes Count y Sh erif f
- La Pin e La Pine RFP D Station #101
Pine RFP
#103
Emergenc y Locations
Klamath County Lake County Deschutes County 14 66 1 3 W ild Cougar Ln, Gil christ, OR BEN D LA PIN E SISTE RS RED MOND SUN R IVER 20 97 126 20 20 97 Map Data is deemed reliable but not guaranteed Deschutes County Tit e accepts no respons bility for accuracy 0 3 6 1 5 Mi les 2309-025A0-04300 Rai lroad Map
Klamath County Lake County Deschutes County White School Park Complex Finley Butte Park/Audia Park Leona Riverfront Park Rosland Campground & Day Use 14 66 1 3 W ild Cougar Ln, Gil christ, OR BEN D LA PIN E SISTE RS RED MOND SUN R IVER 20 97 126 20 20 97 Map Data is deemed reliable but not guaranteed Deschutes County Tit e accepts no respons bility for accuracy 0 3 6 1 5 Mi les 2309-025A0-04300 Parks M ap
Crook ed River Ran ch Golf Co urse Glaze M eado w Golf Co urse Missin g Lin k Family Golf Cen ter Eag le Crest Resort Cour se Aspen La kes Golf Co urse Eag le Crest Ridg e Cours e Jack Nicklaus Sign ature Cou rse At Pron gho rn River's Edg e Golf Co urse Awbr ey G len G olf Cou rse Bend Go lf & Coun try Club Lost Tr acks Golf Club Widg i Creek Golf Club Woo dland s Golf Co urse At Sunr iver Mead ows Go lf Cou rse At Sunr iver Crossw ater Golf Co urse Quail Run Golf Co urse Pro ng hor n Golf Club 14 66 1 3 W ild Cougar Ln, Gil christ, OR BEN D LA PIN E SISTE RS RED MOND SUN R IVER 20 97 126 20 20 97 Map Data is deemed reliable but not guaranteed Deschutes County Tit e accepts no respons bility for accuracy 0 9 5 19 4 75 Mi les 2309-025A0-04300 Golf Course Map

146613 Wild Cougar Ln Subdivision Map

This map/plat is being furnished as an aid in locating the herein described land in relation to adjoining streets, natural boundaries and other land, and is not a survey of the land depicted Except to the extent a policy of title insurance is expressly modied by endorsement, if any, the company does not insure dimensions, distances, location of easements, acreage or other matters shown thereon

5/9/24, 4:26 PM Klamath, OR - geoAdvantage by Sentry Dynamics https://clients sentrydynamics net/geo/or/klamath?layout=&min=False 1/1

146613 Wild Cougar Ln Zoning Map

This map/plat is being furnished as an aid in locating the herein described land in relation to adjoining streets, natural boundaries and other land, and is not a survey of the land depicted Except to the extent a policy of title insurance is expressly modied by endorsement, if any, the company does not insure dimensions, distances, location of easements, acreage or other matters shown thereon

5/9/24, 4:28 PM Klamath, OR - geoAdvantage by Sentry Dynamics https://clients sentrydynamics net/geo/or/klamath?layout=&min=False 1/1

Community Services

Deschutes-Jefferson-Crook County

Tri County Public Services

Administration-Board of Commissioners

541.388.6570

Assessor 541.388.6508

County Clerk’s Recording Office

Community Development

County Landfill

Fair & Expo Center

Fish & Wildlife

Oregon

Human Resources

Community Dev/Planning Dept

Road Department

541.388.6549

541.388.6575

541.317.3163

541.548.2711

541.383.7146

541.322.7400

541.388.6553

541.388.6560

541.388.6581

Water Companies

Agate Water

Avion Water

Cimarron City Water

City of Bend Water

City of Redmond Water

City of La Pine

City of Prineville

City of Madras

Deschutes Valley Water

Indian Meadow Water

Laidlaw Water District

Long Butte Water

Roats Water

Sun Country Water

Sun Mountain Water

Sunriver Water LLC

Terrebonne Water

541.382.2855

541.382.5342

541.389.7480

541.388.5515

541.923.7765

541.536.1432

541.447.5627

541.475.2344

541.475.3849

541.719.0137

541.389.1255

541.383.2863

541.382.3029

541.382.5103

541.382.7309

541.593.4197

541.548.2727

Water Wonderland 541.593.2902

Irrigation Districts

Arnold Irrigation

Central Oregon Irrigation

North Unit Irrigation

Ochoco Irrigation

Three Sisters Irrigation

Swalley Irrigation

Tumalo Irrigation

Recreation & Entertainment

Bend Parks and Rec

541.382.7664

541.548.6047

541.475.3625

541.447.6449

541.549.8815

541.388.0658

541.382.3053

541.389.7275

Redmond Area Parks & Rec 541.548.7275

Cascades Theatrical Company

Deschutes Historical Museum

Deschutes National Forest Information

541.389.0803

541.389.1813

541.383.5300

TicketsWest (Ticket Sales) 800.992.8499

High Desert Museum 541.382.4754

Hoodoo Ski Area

541.822.3799

Mt. Bachelor Information 800.829.2442

Mt. Bachelor Ski Report

Old Mill 16 Cinemas

Redmond Cinemas

Tumalo State Park

La Pine State Park

Smith Rock State Park

Newberry Monument Visitor Center

Emergency

541.382.7888

541.382.6347

541.548.8777

541.382.3586

541.536.2428

541.516.0054

541.383.5300

Police/Sheriff/Fire/Ambulance 911

Report a crime or incident (non emergency) 541.693.6911

Bend Memorial Clinic

541.382.2811

Poison Control Center 800.222.1222

St. Charles Hospital Bend 541.382.4321

St. Charles Hospital-Redmond

St. Charles Medical Center –Madras

St .Charles Hospital Prineville

541.548.8131
541.475.3882
541.447.6263
COMMUNITY RESOURCE GUIDE
Health Department
Highway Information 800.977.6368
Non-Emergency
Non
Emergency
541.388.6581
Oregon Water Resources Water Master 541.306.6885 Utilities OR Utility Notification Center-Call Before You Dig 800.332.2344 Cable and Internet TDS 541.382-5551 Centurylink 855.204.2304 Dish Network 855.754.7027 Direct TV/Satellite 888.777.2454 Sureline Broadband 541.699.0030 Yellow Knife 541.385.0111 Electric Central Electric Co-op 541.389.1980 Mid State Electric 541.536.2126 Pacific Power- Customer Service 800.221.7070 Garbage Cascade Disposal 541.382.6660 Republic Service (Redmond) 541.548.4984 Madras Sanitary 541.475.3382 Republic Services (Prineville) 541.447.5208 Republic Services 541.382.2263 Sun Country Disposal 541.382.6660 Wilderness Garbage 541.536.1194 Gas Amerigas/Northern Energy 541.548.7449 Cascade Natural Gas 888.522.1130 CoEnergy 541.504-9444 Ferrel Gas 541.382.1161 Suburban Propane 800.776.7263 Ed Staub & Sons 541.504.8265 Telephone AT&T 855.392.9752 TDS 541.382-5551 BendTel 541.389.4020 Cascade Telecommunications 541.388.5158 CenturyLink 800.244.1111 Neff Networks 541.323.6866 www.deschutestitle.com
Rural Fire District #2 -
541.318.0459 Sheriff -
-
541.693.6911 Surveyor
Tax Office 541.388.6540 County Clerks Election Office 541.388.6546

Bend

Bend Public Services

Bend Airport

Bend Parks & Recreation

Building/Planning/Community Dept

The Bulletin Newspaper

The Source Weekly

Cascade Business News

City Administration

Chamber of Commerce

Community Development

Dept. of Motor Vehicles

Deschutes Public Library (Downtown)

541.388.0019

541.389.7275

541.388.5580

541.382.1811

541.383-0800

541.388.5665

541.388.5505

541.382.3221

541.388.5528

541.388.6322

541.617.7050

Deschutes Public Library (East Bend) 541.330.3760

Dial-A-Ride (Public Transportation) 541.385-8680

Fire Dept. Non-Emergency

Humane Society

Juniper Aquatic Center

Library Main

Municipal Court

Planning Department

541.322.6300

541.382.3537

541.389.7665

541.617.7050

541.388.5572

541.388.5580

Police Dept. - Non-Emergency 541.693.6911

Bend Schools

Bend / La Pine Information

541.355.1000 Transportation 541.355.5700

Elementary Schools

Amity Creek 541.355.2800 Bear Creek 541.355.1400 Buckingham 541.355.2600

Elk Meadow 541.355.1500

Redmond Public Services

Airport Offices

Redmond Taxi

Cascade Swim Center

Redmond

541.504.3495

541.548.1182

541.548.6066

Chamber of Commerce 541.923.5191

City Information

State of Oregon E-Permitting

Dept. of Motor Vehicles

541.923.7710

541.923.7721

541.548.0140

Fire Dept. Non-Emergency 541.504.5000

Humane Society 541.923.0882

Police Dept. Non-Emergency

Post Office

Redmond Library

Redmond Airport (Roberts Field)

Redmond Spokesman Newspaper

Senior Center

Redmond Schools

Redmond School District/Transportation

Elementary Schools

StepUP at Edwin Brown Education Center

541.388.0170

800.275.8777

541.312.1050

541.504.3495

541.548.2184

541.548.6325

541.923.5437

541.923.4868

Hugh Hartman 541.923.8900

John Tuck 541.923.4884

M.A. Lynch 541.923.4876

Sage 541.316.2830

Terrebonne Community School 541.923.4856

Tom McCall 541.526.6400

Tumalo 541.382.2853

Vern Patrick 541.923.4830

Middle Schools

Elton Gregory 541.526.6440

Ensworth 541.355.1600 High Lakes 541.355.1700 Highland At Kenwood 541.355.1900 Juniper 541.355.1800 Lava Ridge 541.355.2400 North Star 541.355.2300 Pine Ridge 541.355.2700 Ponderosa 541.355.4300 R.
541.355.2100 Seven Peaks 541.382.7755 Silver Rail 541.355.2900
541.355.2000
541.355.2500 Middle Schools Cascade 541.355.7000 High Desert 541.355.7200 Pacific Crest 541.355.7800 Pilot Butte 541.355.7400 Realms 541.355.4900 Sky View 541.355.7600 High Schools Bend Senior High 541.355.3700 Caldera High 541.355-5000 Marshall High 541.355.3510 Mountain View High 541.355.4400 Realms High 541.355.5500 Skyline High 541
355
1000 Summit High 541.322.3300
E. Jewell
Westside Village At Kingston
William E. Miller
-
-
541.526.0882
541.923.4800
541.526.0882
541.504.3600
Obsidian 541.923.4900 Redmond Proficiency Academy
High Schools Redmond High
Redmond Proficiency Academy
Ridgeview High
Sisters
541.549.6022 Chamber
541.549.0251 Sheriff’s Office Substation 541.549.2302 Post Office 800.275.8777 Police Dept. Non-Emergency 541.692.6911 Sisters Library 541.312.1070 Sisters Schools Sisters Elementary 541.549.8981 Sisters Middle 541.549.2099 Sisters High 541.549.4045 Sunriver and La Pine Sunriver Public Services Chamber of Commerce 541.593.8149 Fire Dept. Non-Emergency 541.593.8622 Police Dept. Non-Emergency 541.593.1014 Sunriver Library 541.312.1080 Sunriver Nature Center 541.593.4394 Sunriver Owner’s Association 541.593.2411 Sunriver Homeowner’s Aquatic & Rec Center 541.585.5000 Sunriver and La Pine (con’t) La Pine Public Services Chamber of Commerce 541.536.9771 Fire Dept. Non-Emergency (Admin/Bus) 541.536.2935 Sheriff - La Pine Station Non Emergency 541.693.6911 La Pine Library 541.312.1090 La Pine and Sunriver Schools La Pine Elementary 541.355.8000 Rosland Elementary 541.355.8100 Three Rivers Element. & Middle School 541.355.3000 La Pine Middle School 541.355.8200 La Pine High School 541.355.8400 Madras Culver– Madras Public Services Chamber of Commerce 541.475.2350 City of Culver 541.546.6494 Fire Dept Non-Emergency 541.475.7274 Humane Society 541.475.6889 Jefferson County Assessors Office 541.388.6508 Jefferson County Clerks Office 541.475.4451 Jefferson County Planning Dept 541.475.4462 Jefferson County Landfill 541.475.1983 Madras Aquatic Center 541.475.4253 Madras City Hall & Police Station 541.475.2344 Madras Library 541.475.3351 Post Office 800.275.8777 Elementary Schools Metolius Elementary 541.546.3104 Madras Primary Elementary 541.475.3520 Madras Elementary 541.475.3520 Middle School Jefferson County Middle School 541.475.7253 High School Madras High 541.475.7265 Prineville Prineville Public Services Chamber of Commerce 541.447.6304 City of Prineville 541.447.5627 Fire Dept. Non-Emergency 541.447.5011 Humane Society 541.447.7178 Crook County Assessors Office 541.447.4133 Crook County Clerks Office 541.447.6553 Crook County Building/Planning Dept. 541.447.3211 Crook County Park & Recreation Dept. 541.447.7546 Crook County Landfill 541.447.2398 Post Office 800.275.8777 Prineville Library 541.447.7978 Sheriffs Office non-emergency 541.447.6398 Elementary Schools Barnes Butte Elementary 541.416.4150 Brothers Elementary 541.903.2819 Crooked River Elementary 541.447.6488 Steins Pillar Elementary 541.416.4230 Powell Butte Community Charter 541.548.1166 Middle Schools Crook County Middle School 541.447.6283 High Schools Crook County High 541.416.6900 Pioneer Secondary Alter High 541.447.1268
Sisters Public Services Business Office
of Commerce

Schools Report

SchoolReport

KlamathCounty

SubjectParcel

SiteAddress 146613WildCougarLn GilchristOR97737

Parcel 134394

SchoolDistrict 11KlamathCounty

AssignedPrimarySchool GilchristElementarySchool

AssignedMiddleSchool GilchristJunior/SeniorHighSchool

AssignedHighSchool GilchristJunior/SeniorHighSchool

PrimarySchool

GilchristElementarySchool

LapineElementarySchool

SchoolMap

MiddleSchool

LapineMiddleSchool Coic-LaPine

HighSchool

GilchristJunior/seniorHigh School

LapineSeniorHighSchool

OtherSchool Coic-LaPine

ReportDetail QueryDistanceFromParcel 10miles SchoolsInQuery 6

School#1

SchoolDistrict KlamathCountySD

DistFromSubject723miles

School GilchristElementarySchool SiteAddress 201MountainViewDr

City Gilchrist Zip 97737

Type 1-Regularschool Students 132

Charter No Magnet

Title1Elig 1-Yes

Title1 5-TitleIschoolwideschool

Free/Reduced Lunch 99 FTETeachers Count 902

Student/Teacher Ratio 1463 GradeLevels Kindergarten-6thGrade

Male 78 Female 54

Hispanic 7 White 115

Black 0

Asian/PacificIsl. 0

School#2

SchoolDistrict KlamathCountySD

Am Indian 1

DistFromSubject723miles

School GilchristJunior/SeniorHighSchool SiteAddress 201MountainViewDr

City Gilchrist Zip 97737

Type 1-Regularschool Students 104

Charter No Magnet

Title1Elig 1-Yes

Title1 5-TitleIschoolwideschool

Free/Reduced Lunch 77 FTETeachers Count 1039

Student/Teacher Ratio 1001

Male 60

5

Black 0

Asian/PacificIsl 0

School#3

SchoolDistrict Bend-LaPineAdministrativeSD1

7thGrade-12thGrade

DistFromSubject933miles

School LapineMiddleSchool SiteAddress 16360FirstSt

City Lapine Zip 97739

Type 1-Regularschool Students 311

Charter No Magnet

Title1Elig 2-No

Title1 6-NotaTitleIschool

Free/Reduced Lunch 200 FTETeachers Count 1627

Student/Teacher Ratio 1911 GradeLevels 6thGrade-8thGrade

Male 162 Female 146

Hispanic 17

Black 1 Am.Indian 3

Asian/PacificIsl. 2

GradeLevels
Female
White
44 Hispanic
95
Am.Indian 0
White
275

School#4

SchoolDistrict Bend-LaPineAdministrativeSD1

School LapineElementarySchool

DistFromSubject933miles

SiteAddress 51615CoachRd City Lapine Zip 97739

Type 1-Regularschool Students 399

Charter No Magnet

Title1Elig 1-Yes

Title1 5-TitleIschoolwideschool

Free/Reduced Lunch 261 FTETeachers Count 2250

Student/Teacher Ratio 1773

Male 222

GradeLevels Kindergarten-5thGrade

Female 176

Hispanic 29 White 343

Black 2 Am Indian 2

Asian/PacificIsl. 0

School#5

SchoolDistrict DistFromSubject948miles

School Coic-LaPine SiteAddress 16493BluewoodPlSte3 City LaPine Zip 97739

Type Students 25

Charter Magnet

Title1Elig Title1

Free/Reduced Lunch FTETeachers Count

Student/Teacher Ratio

GradeLevels -

Male Female

Hispanic 2 White 22

Black 0 Am.Indian 1

Asian/PacificIsl 0

School#6

SchoolDistrict Bend-LaPineAdministrativeSD1

DistFromSubject955miles

School LapineSeniorHighSchool SiteAddress 51633CoachRd City Lapine Zip 97739

Type 1-Regularschool Students 459

Charter No Magnet

Title1Elig 2-No

Title1 6-NotaTitleIschool

Free/Reduced Lunch 312 FTETeachers Count 2401

Student/Teacher Ratio 1912

GradeLevels 9thGrade-12thGrade

Male 250 Female 208

Hispanic 33 White 400

Black 2 Am.Indian 4

Asian/PacificIsl. 3

Students We Serve

OREGON AT-A-GLANCE SCHOOL PROFILE

Gilchrist Elementary School

PRINCIPAL: Melanie Mobley | GRADES: K-6 | 201 Mountain View Dr, Gilchrist 97737 | 541-433-2295

REGULAR ATTENDERS

Students

MATHEMATICS

School Goals

Gilchrist strives to promote student success by helping students to regularly attend school. Through our academic and attendance initiatives, students are recognized and rewarded monthly for academic and behavioral success and regular attendance. Gilchrist Elementary is also teaching growth mindset to students and using this to help support students in academic areas that are difficult for them.

State Goals

The Oregon Department of Education is partnering with school districts and local communities to ensure a 90% ontime, four year graduation rate by 2027. To progress toward this goal, the state will prioritize efforts to improve attendance, provide a well-rounded education, invest in implementing culturally responsive practices, and promote continuous improvement to close opportunity and achievement gaps for historically and currently underserved students.

Safe & Welcoming Environment

Gilchrist Elementary uses regular safety drills, so that students will know what to do in case of emergency. We also use security cameras on our school grounds. Our playground is completely fenced as well. We invite parents to events such as student of the month and after school and evening events. We welcome students each morning and have a morning assembly daily to prepare them for learning and celebrate their successes. We also send out monthly school newsletters to keep parents updated on what has gone on during the past month and what is coming up during the following month.

2022-23
Student Enrollment 125 DEMOGRAPHICS American Indian/Alaska Native Students 1% Teachers 0% Asian Students 0% Teachers 0% Black/African American Students 0% Teachers 0% Hispanic/Latino Students 6% Teachers 0% Multiracial Students 5% Teachers 0% Native Hawaiian/Pacific Islander Students 1% Teachers 0% White Students 88% Teachers 100% Ever English Learners * Languages Spoken 2 Students with Disabilities 26% Required Childhood Vaccinations 94% Free/ Reduced Price Lunch >95% *<10 students or data unavailable School Environment
Median class size. 17 No change from previous year Oregon average 22
CLASS SIZE
who attended more than 90% of their enrolled school days. 40% Decrease from previous year 14% Oregon average 62%
Success
Students meeting state grade-level expectations. 40% Decrease from previous year 5% Oregon average 43%
Academic
ENGLISH LANGUAGE ARTS
Students meeting state grade-level expectations. 27% Increase from previous year 3% Oregon average 35% SCIENCE Students meeting state grade-level expectations. 47% Increase from previous year 16% Oregon average 31%
School Website: www.kcsd.k12.or.us Eligibility for Free/Reduced Price Lunch expanded in 2020-21, for more information please visit: www.oregon.gov/ode/schools-and-districts/reportcards/reportcards/Pages/Accountability-Measures.aspx

Our Staff (rounded FTE)

OREGON AT-A-GLANCE SCHOOL PROFILE

Gilchrist Elementary School

REGULAR ATTENDERS

ENGLISH LANGUAGE ARTS

MATHEMATICS

Teachers

assistants

About Our School

BULLYING, HARASSMENT, AND SAFETY POLICIES

Our school strives to prevent bullying and provide a safe environment for learning in a variety of ways. We teach the Second Steps and Character Strong Programs to all grade levels. We also have many schoolwide positive behavior support systems in place. In addition to Second Steps and Character Strong, we have a school counselor who works with groups of students to build specific social skills. Gilchrist Elementary also has implemented Conscious Discipline and Character Strong which builds a sense of family throughout the school. We begin our school days with a whole school assembly which includes brain yoga, celebrations, and a school chant to bring all the classes together. We also have buddy programs going on between classrooms.

EXTRACURRICULAR ACTIVITIES

Our school offers basketball for our elementary students during the late fall. We also offer wrestling during the winter for elementary students. Our sixth graders participate in middle school sports with our middle school students.

PARENT ENGAGEMENT

Gilchrist Elementary invites parents to participate in student of the month events. We also recognize a volunteer at each of these events. Teachers and students prepare a Holiday Concert for the parents and community. Throughout the year, we also have other evening events for students to participate in with their parents. Some of these include Open House, Harvest Festival, Love of Reading Night, and Night of Celebration. We also invite parents to holiday parties and student of the month assemblies.

COMMUNITY ENGAGEMENT

Gilchrist Elementary students participate in SMART Reading. We also partner with the Gilchrist School Based Health Center and Advantage Dental for Health Screenings, Dental Screenings, Sports Physicals, and Well Checks. We also participate in Give Back Day, when Gilchrist students spend a day to help the community.

CONTINUED 2022-23
9
Average teacher retention rate over the past three years 85% % of licensed teachers with more than 3 years of experience 100% Same principal in the last 3 years No
3 Educational
1 Counselors/ Psychologists/ Social Workers
Outcomes
American Indian/Alaska Native <10 students or data unavailable Asian <10 students or data unavailable Black/African American <10 students or data unavailable Hispanic/Latino <10 students or data unavailable Multiracial <10 students or data unavailable Native Hawaiian/Pacific Islander <10 students or data unavailable White 38% Free/Reduced Price Lunch 40% Ever English Learner <10 students or data unavailable Students with Disabilities 36% Migrant <10 students or data unavailable Homeless <5% Students in Foster Care <10 students or data unavailable Military Connected <10 students or data unavailable Talented and Gifted <10 students or data unavailable Female 38% Male 42% Non-Binary <10 students or data unavailable
<10 students or data unavailable <10 students or data unavailable <10 students or data unavailable <10 students or data unavailable <10 students or data unavailable <10 students or data unavailable 36% 41% <10 students or data unavailable 24% <10 students or data unavailable <10 students or data unavailable <10 students or data unavailable <10 students or data unavailable <10 students or data unavailable 33% 44% <10 students or data unavailable
<10 students or data unavailable <10 students or data unavailable <10 students or data unavailable <10 students or data unavailable <10 students or data unavailable <10 students or data unavailable 26% 28% <10 students or data unavailable 12% <10 students or data unavailable <10 students or data unavailable <10 students or data unavailable <10 students or data unavailable <10 students or data unavailable 11% 37% <10 students or data unavailable
Data are suppressed to protect confidential student information. For more information please visit: www.oregon.gov/ode/schools-and-districts/reportcards/reportcards/Pages/Accountability-Measures.aspx

Students We Serve

OREGON AT-A-GLANCE SCHOOL PROFILE

Gilchrist Junior/Senior High School

PRINCIPAL: Melanie Mobley | GRADES: 7-12 | 201 Mountain View Dr, Gilchrist 97737 | 541-433-2295

REGULAR ATTENDERS

Students

Students

Students earning a diploma within four years. Cohort includes students who were first-time ninth graders in 2018-19 graduating in 2021-22

FIVE-YEAR COMPLETION

Students earning a high school diploma or GED within five years. Cohort Includes students who were firsttime ninth graders in 2017-18 finishing in 2021-22

COLLEGE GOING

Students enrolling in a two or four year college within 16 months of completing high school in 202021. Data from the National Student Clearinghouse.

not available

School Goals

Gilchrist School strives to promote student success by recognizing academic achievement, and by helping students to regularly attend school. Through our academic and attendance initiatives, students are recognized and rewarded quarterly for academic success and regular attendance. Programs such as AVID, Step-up, and a robust CTE program have proven successful to increase academic success. Also, we work to inform parents of the importance of regular attendance. Due to this work, we have seen academic success and improved attendance rate for our school over the last year.

State Goals

The Oregon Department of Education is partnering with school districts and local communities to ensure a 90% ontime, four year graduation rate by 2027. To progress toward this goal, the state will prioritize efforts to improve attendance, provide a well-rounded education, invest in implementing culturally responsive practices, and promote continuous improvement to close opportunity and achievement gaps for historically and currently underserved students.

Safe & Welcoming Environment

Gilchrist School strives to ensure all students and their parents a safe and secure learning environment. School wide safety plans have been implemented and are revised yearly. Also, ongoing safety education and training with students and staff occur throughout the school year. We have opportunities to help students and staff recognize bullying and harassment, and provide strategies for intervention. Our school encourages all of our students to speak up when they see bullying.

2022-23
Student Enrollment 106 DEMOGRAPHICS American Indian/Alaska Native Students 0% Teachers 0% Asian Students 0% Teachers 0% Black/African American Students 0% Teachers 0% Hispanic/Latino Students 6% Teachers 0% Multiracial Students 3% Teachers 7% Native Hawaiian/Pacific Islander Students 1% Teachers 0% White Students 91% Teachers 93% Ever English Learners * Languages Spoken 2 Students with Disabilities 22% Required Childhood Vaccinations 100% Free/ Reduced Price Lunch >95% *<10 students or data unavailable School Environment CLASS SIZE Median size of classes in core subjects. 13.5 Increase from previous year 4 Oregon average 22
who attended more than 90% of their enrolled school days. 57% Decrease from previous year 9% Oregon average 62% Academic Progress ON-TRACK TO GRADUATE
earning one-quarter of graduation credits in their 9th grade year. 95% No change from previous year Oregon average 84% Academic Success ON-TIME GRADUATION
89% Increase from previous year 6% Oregon average 81%
89% Increase
year 14% Oregon average 87%
from previous
33% Change
Oregon average 56%
School Website: www.kcsd.k12.or.us Eligibility for Free/Reduced Price Lunch expanded in 2020-21, for more information please visit: www.oregon.gov/ode/schools-and-districts/reportcards/reportcards/Pages/Accountability-Measures.aspx

Our Staff (rounded FTE)

OREGON AT-A-GLANCE SCHOOL PROFILE

Gilchrist Junior/Senior High School

Outcomes

REGULAR ATTENDERS

ON-TRACK TO GRADUATE

ON-TIME GRADUATION

<10

<10

<10

<10 students or data

Coming in 2023-24

<10 students or data unavailable

<10 students or data unavailable

<10 students or data unavailable

<10 students or data unavailable

About Our School

ADVANCED COURSEWORK

Gilchrist School offer dual-enrollment courses through Klamath Community College. Courses include Math 111 & 112. Gilchrist School supports school wide AVID (Advancement Via Individual Determination). AVID transforms the instruction, systems, leadership, and culture of a school, ensuring college and career readiness, and improved academic performance for all students based on increased opportunities.

CAREER & TECHNICAL EDUCATION

Gilchrist School has a robust CTE program. Students have the option of enrolling in a variety of courses where students can earn certification, which can lead to occupational opportunities or advancement. Courses include: · Introduction to Business

Business Law

Construction · Metal Fabrication

· Small Engines

EXTRACURRICULAR ACTIVITIES

Gilchrist School offers OSAA sponsored activities and various academic school clubs throughout the school year. · 6-man football

Volleyball

Basketball

Wrestling

Track & Field

FBLA

After School Enrichment Activities

PARENT & COMMUNITY ENGAGEMENT

Gilchrist School engages our parents and community by hosting a variety of events intended for parents and community members to attend.

· Open House · College Night · Fall Festival

· Parent/Teacher Conferences

· Night of Celebration

Gilchrist School also partners with area businesses, and other community partners to create opportunities for our students.

· Gilchrist School Based Clinic - Health Screenings, Dental Screenings, Sports Physicals, Well Check, Health Fairs

· Gilchrist Booster Club - Grants, Scholarships, Enrichment Activities

CONTINUED 2022-23
10 Teachers <1 Educational assistants 1 Counselors/ Psychologists/ Social Workers Average teacher retention rate over the past three years 88% % of licensed teachers with more than 3 years of experience 64% Same principal in the last 3 years No
American Indian/Alaska Native <10 students or data unavailable Asian <10 students or data unavailable Black/African American <10 students or data unavailable Hispanic/Latino <10 students or data unavailable Multiracial <10 students or data unavailable Native Hawaiian/Pacific Islander <10 students or data unavailable White 55% Free/Reduced Price Lunch 57% Ever English Learner <10 students or data unavailable Students with Disabilities 44% Migrant <10 students or data unavailable Homeless <10 students or data unavailable Students in Foster Care <10 students or data unavailable Military Connected <10 students or data unavailable Talented and Gifted <10 students or data unavailable Female 53% Male 60% Non-Binary <10 students or data unavailable
<10 students or data unavailable <10 students or data unavailable <10 students or data unavailable <10 students or data unavailable <10 students or data unavailable <10 students or data unavailable 94% 95% <10 students or data unavailable <10 students or data unavailable <10 students or data unavailable <10 students or data unavailable <10 students or data unavailable <10 students or data unavailable <10 students or data unavailable <10 students or data unavailable >95% <10 students or data unavailable
students or data unavailable
students or data unavailable <10 students or data unavailable <10 students or data unavailable <10 students or data unavailable <10 students or data unavailable <10 students or data unavailable <10 students or data unavailable
students or data unavailable
students or data unavailable
<10
<10
<10
students or
unavailable
data
unavailable
students or data
unavailable
·
·
·
·
·
·
·
·
Data are suppressed to protect confidential student information. For more information please visit: www.oregon.gov/ode/schools-and-districts/reportcards/reportcards/Pages/Accountability-Measures.aspx
Butler Market Butler Market Hwy 20 Hwy20 Rickard Brosterhous Juniper Ponderosa Pine Ridge High Lakes Elk Meadow Lava Ridge Buckingham Bear Creek Silver Rail W.E. Miller R.E. Jewell Jack Ensworth New Elementary Morr lo Mcune aw 815 But Fs 03 Cougar Put La ene 18 4610 Popl 9Th Q ag ahog C 1 Ce ten p M mo Sad Woodsid or Rid ron Ha ema Bl kyv Robin oon Brasa anch W chelor lo View yra M zan West Ox in Lo ko rl apel rm O loo Highland Chapparal et Ori Ca elo Ke Sage Con at But k Regency Sunbe ectiv am vin K ze uffy We ng Mo ansas ttsd Darnel Hi nt Pe aton 85Th Ran ster Ma So Caf P ma T ee nderU Q Ri oods ros Da noxv ght mo Solstice leing Casa mb Wyeh Rastovich oy daho H Vintage H Talus st ng W d dge da rin kadee Fol acier View Cedar yl W Wago ire er W Buc ks le anchvew ury H Br W Ka H he k ye H Pocahont Le Ru G Co ara Deer d B Ta ano Rub Ambrosia nri Wi chi ple ot Mo eze O de arkey Bo de D try la Arne B ry Veryl bal Co M Ca m an 1 2 Me ke W anl de illtop Honeysuckle Shirley wl um op Gain Woode Rowa y Bo Cooley Gr Kristin enw SnapSh coon O Ro in Tu rry Mou Maricopa ant An Q Rive gar Me Ve M Office do ard dg ter oods Ri Juniper sb Wo unset 2nd ve Arr el Re aryGe Hwy 20 N ff Ri ck ard 3rd Do d ds P k y C ury Kn tt 79Hwy elPow But 27th A fa lfa M et War d B Cr e h4t G y OB R ley hnsJo Tumalo 5th relinykS h8t M cgrat 9th arP lle Ba er ellHunn u e Mark mbyHa Alfalf h18t lWal D chut M C ool ey B ad enka p Tum o Res ervoi Summit llceurP W E ks or tla nd dO B d ndmoRed M Wa o roster hous D ckey ran in aiB ey She in Park Bennet Meto u R og e Skyin R nch Awbrey F us on etutBerndiC 12th Rever 2 d B n on P tti A nol d M E m pir oB d iC laFe G re nwo d C D sivi n Y Zuni 14 h mHa okho P tnam A eihc Briggs oydB A ChinaHat Kio a We A c P Co ntryC ub oudSt River Wo ds S yawm Mu h ht91 koorB odwo Morrill Penn Cook odgL olep emA nca S m p cohC w T n B r R h 10 h P e a ssorCWN n Chase Colleg eviR de R bal inalccM P sael n egdiR Ga lv to N wpo G ngki M Ol n y mPi G nwo od ReMderketa Minnetonka T on Reed M a ket odowskoroB 8th Co y roloC o Ga lv es to B Creek kSrseinly 14th B koo oow h9t 79yHw Bo d N w por Emp re Shevlin Park 18 h C Hwy20 neC N por Mcgrah 79wyH M phy 1 PutBllewo e P h5t yliSk chanR h15t im 20190129
Elementary Attendance
Effective School Year 2019-20
Bend-La Pine Schools
Areas
Nef 3 r d Kn o tt Hwy20 Wa rd P a r k w a y 4 h Ob Ril e y G o s n e y Johnson Hwy 97 Tu ma lo Ric kard 1 5 t h Bea r C reek 8 t h 2 7 h Century 9th Baker H u n n e Bu tler Mar ket H a m b y 1 8 h Wall D e s c h u t e s M a r k e Co oley B a d e a u P o w e B u t e M c grath Summit P u r c e Parrell E r c k s o n Wi son Por tla nd MtWashington B r o s t e r h o u s O d Bend Redmo n d Tu ma lo Reser voi r D c k e y Fra nk in Ba ley Steven s Bond ShevlinPark Metolius Roger s Awb re y Skyline Ranch Fergu son Brookswood CinderButte Revere 1 2 t h Em p re P e t g r e w 2 n d Brinson Arn old Market Greenwoo d Yeo ma n Zuni Skyliners H m e h o o k P u t n a m B o y d A c r e s Archie Br g gs WellsAcres ChinaHat 1 4 h K iowa Cline Falls Powers C o u n r y C u b Studio 19th Murphy Crossing Oln ey River Woods Morrill Pe nn Colorado Ar zo na C o o k L o d g e p o e A m e r c a n Simpson Pondero sa 1 0 h A fa fa Market Ch as e Riverside College Robal Ga veston Mcclain Newp or t Scott Pima G enwood Lemh i P ass Pleasant Ridge ReedMarket Hawth orn e Minnetonka Industrial Trenton Hwy 20 Murphy 1 8 t h P u c e 1 8 t h Sim p so n Shevlin Park S k y n e R a n c h Hwy 97 1 4 t h Crossing 9 h 1 5 t h Skyl ners Mcgrath Bond Hwy 97 1 5 h Mur phy Cas ca d e Sk y Vi ew Hi gh De se r t Pi l ot But te Pa cifi c C re st Bend -L a Pin e S choo ls Mid dle Sc hool Attend a nce A rea s Eff ecti ve S eptember 2 021
Neff 3 d Kn o tt Hwy20 Wa rd P a r k w a y 4 h Ob Ril e y G o s n e y Johnson Hwy 97 Tu ma o R c kard 1 5 t h Bea r C reek 8 t h 2 7 h Century 9th Baker H u n n e Bu tler Mar ket H a m b y 1 8 t h Wall D e s c h u t e s M a r k e t Co o ey B a d e a u P o w e B u t e M c grath Summit P u r c e Parrell E r c k s o n W lson Por tla nd MtWashington B r o s t e r h o u s O d Bend Redmo n d Tu ma o Reser vo r D c k e y Fra nk n Ba i ey Steven s Bond ShevlinPark Metolius Roger s Awb re y S k y n e R a n c h Fergu son Brookswood CinderButte Revere 1 2 t h Em p ire P e t g r e w 2 n d Br nson Arn o d Market Greenwoo d Yeo ma n Zuni Skyliners H a m e h o o k P u t n a m B o y d A c e s Arch e Brig gs WellsAcres ChinaHat 1 4 t h K iowa Cline Falls Powers C o u n t r y C u b Studio 19th Murphy Crossing Oln ey Morr l River Woods Pe nn Colorado Ar zo na C o o k L o d g e p o e A m e r c a n Simpson Pondero sa 1 0 h Alfalfa Market Ch as e Riverside College Robal Gal veston Mcclain Newp or t Scott Pima Gl enwood Lemh i P ass Pleasant Ridge ReedMarket Hawth orn e Minnetonka Industrial Trenton Hwy 20 Murphy 1 8 h P u c e 1 8 t h S m p so n Shevlin Park S k y n e R a n c h Hwy 97 1 4 t h Crossing 9 t h 1 5 t h Skyl ners Mcgrath Bond Hwy 97 1 5 h Mur phy Sum m it Bend H igh Mount ai n V iew New H igh Sc hool Bend -L a Pin e S choo ls Hig h S ch ool Atten da n ce A rea s Eff ecti ve S eptember 2 021 2 20 03

Places to Go & Things to Do

Food Trucks/Carts

https://www.visitbend.com/food-drink/restaurants/food-carts/

https://www.google.com/search?q=food+carts+near+me&rlz=1C1GCEU_enUS874US875&oq=food+ca rts+&aqs=chrome.2.69i57j0i512j0i457i512j0i402j46i175i199i512l2j0i512l4.9132j0j15&sourceid=chrom e&ie=UTF-8

https://www.menupix.com/oregon/cn/158/370037/Food-Trucks-Prineville

https://www.google.com/search?q=food+trucks+in+sisters+oregon&rlz=1C1GCEU_enUS874US875&ei =nMxVYpS4Ns2dkPIPufeDoAg&oq=food+trucks+in+Sisters&gs_lcp=Cgdnd3Mtd2l6EAEYADIFCAAQgAQ yBQgAEIYDMgUIABCGAzoLCC4QgAQQxwEQrwE6BggAEBYQHkoECEEYAEoECEYYAFAAWPcKYNAiaABw AXgAgAHRAYgBugmSAQUwLjYuMZgBAKABAcABAQ&sclient=gws-wiz

https://www.google.com/search?q=food+trucks+in+madras&rlz=1C1GCEU_enUS874US875&ei=nMxV YpS4Ns2dkPIPufeDoAg&ved=0ahUKEwiU9pOLm4_3AhXNDkQIHbn7AIQQ4dUDCA8&uact=5&oq=food +trucks+in+madras&gs_lcp=Cgdnd3Mtd2l6EAMyBggAEBYQHjIFCAAQhgMyBQgAEIYDOgcIABBHELADO goIABBHELADEMkDOggIABCABBDJAzoFCAAQkgM6BQgAEIAEOgsILhCABBDHARCvAUoECEEYAEoECEYY AFDeEliMGmDVHGgBcAF4AIABrQGIAZoHkgEDMC42mAEAoAEByAEHwAEB&sclient=gws-wiz https://www.google.com/search?q=food+trucks+in+culver+oregon&rlz=1C1GCEU_enUS874US875&ei =bM1VYqjDC_bTkPIP_Zuj2AY&ved=0ahUKEwioqYDum4_3AhX2KUQIHf3NCGsQ4dUDCA8&uact=5&oq =food+trucks+in+culver+oregon&gs_lcp=Cgdnd3Mtd2l6EAMyBQghEKsCOgoIABBHELADEMkDOgcIABB HELADOgYIABAWEB46BQgAEIYDOgUIIRCgAUoECEEYAEoECEYYAFD2BljNDmCFEGgBcAF4AIABswGIAcQ JkgEDMC43mAEAoAEByAEEwAEB&sclient=gws-wiz

https://pdx.eater.com/maps/best-restaurants-bend-oregon-guide

Central Oregon Healthy Food

https://www.visitbend.com/food-drink/restaurants/vegan-vegetarian-gluten-free/

https://www.google.com/search?q=healthy+eats+in+central+oregon&rlz=1C1GCEU_enUS874US875& ei=Vs5VYo6xJp_TkPIPjIqV4AI&ved=0ahUKEwiOtOXdnI_3AhWfKUQIHQxFBSwQ4dUDCA8&uact=5&oq =healthy+eats+in+central+oregon&gs_lcp=Cgdnd3Mtd2l6EAM6BggAEAcQHjoICAAQBxAFEB46BQgAEI YDSgQIQRgASgQIRhgAUABYjyhg6D5oAnABeAGAAe8DiAHND5IBCjIuMTAuMS4wLjGYAQCgAQHAAQE &sclient=gws-wiz

Kid Friendly Attractions

https://forgetsomeday.com/things-to-do-in-bend-oregon-with-kids/ https://www.cascadiakids.com/things-do-kids-bend-oregon/

https://oldmilldistrict.com/things-to-do-with-kids/

https://www.visitbend.com/things-to-do/activities/kid-family-friendly-activities/

Farmers Markets in Central Oregon

https://visitcentraloregon.com/dining/food/farmers-market/

https://www.localharvest.org/prineville-or/farmers-markets

https://hdffa.org/its-farmers-market-season/

https://redmondoregonfarmersmarket.com/

https://www.sistersfarmersmarket.com/

https://www.localharvest.org/redmond-or/farmers-markets

https://www.madrassaturdaymarket.com/

Central Oregon Breweries

https://www.visitbend.com/food-drink/restaurants/brewery-pub/

https://www.google.com/search?q=breweries+in+central+oregon&rlz=1C1GCEU_enUS874US875&oq =&aqs=chrome.0.69i59i450l8.68566434j0j15&sourceid=chrome&ie=UTF-8

https://visitcentraloregon.com/dining/drinks/breweries/redmond/ https://beermebend.com/bend-oregon-brewery-locations/

https://www.google.com/search?q=prineville+breweries&rlz=1C1CHBD_enUS1025US1025&oq=prine ville+breweries&aqs=chrome..69i57j0i22i30j0i390i650.4688j0j7&sourceid=chrome&ie=UTF-8

https://www.google.com/search?q=breweries+in+madras+oregon&rlz=1C1CHBD_enUS1025US1025& oq=breweries+in+madras+oregon&aqs=chrome..69i57.6398j0j4&sourceid=chrome&ie=UTF-8

Private Schools in Central Oregon

https://www.niche.com/k12/search/best-private-schools/c/deschutes-county-or/ https://movingtobend.com/relocation-blog/2021/a-guide-to-public-and-private-schools-in-bendoregon/

https://www.countyoffice.org/bend-or-private-schools/

Central Oregon Winter Activities

https://www.visitbend.com/things-to-do/activities/winter-fun/

https://visitcentraloregon.com/things-to-do/activities/winter/

https://www.google.com/search?q=winter+activities+central+oregon&rlz=1C1CHBD_enUS1025US102 5&oq=winter+activities+central+oregon&aqs=chrome..69i57j0i22i30l2j0i390i650l3j69i60l2.14288j0j4 &sourceid=chrome&ie=UTF-8

Central Oregon Trivia and Bingo Nights

https://www.riversplacebend.com/games

https://beermebend.com/bend-oregon-brewery-locations/

https://www.bendsource.com/bend/bingo-with-bren-supporting-saving-grace/Event?oid=16320982

https://www.visitbend.com/food-drink/astro-lounge/

https://theyardfoodpark.com/events/

https://www.silvermoonbrewing.com/events

https://www.bendsource.com/bend/tuesday-night-trivia-in-redmond/Event?oid=18829261

Calendar of Events for Central Oregon

https://visitcentraloregon.com/calendar-of-events

https://www.bendsource.com/bend/EventSearch?v=g#grid

https://www.visitbend.com/event-calendar/

Economic Development For Central Oregon

ECONOMIC DEVELOPMENT FOR CENTRAL OREGON EDCOINFO.COM #EDCOINFO @EDCOINFO 705 SW BONNETT WAY SUITE 1000 BEND, OR 97702 541.388.3236 2022 CENTRAL OREGON ECONOMIC PROFILE

Table of Contents

Welcome to Central Oregon

Where the commute times are short and breathtaking views await you at every turn. The region features dramatic snow-capped mountain ranges and high desert plateaus within Deschutes, Crook and Jefferson counties.

Located halfway between San Francisco and Seattle, one of the hottest small metropolitan markets in the U.S. is Central Oregon. In the last decade the region has seen some of the highest sustained GDP growth, job growth and population growth. With these factors in mind, The Milken Institute has named the region the best small metropolitan in the nation four years in a row – an unprecedented feat no other location has ever received.

Central Oregon is pulling extraordinary talent and capital, fostering a diverse and highly entrepreneurial business ecosystem. Deschutes County received the most investment in Oregon in 2022, according to Smartasset. Lured by natural scenic beauty and big city amenities without big city costs or hassle, people are learning that having a true work-life balance

possible. Employees are

and companies are more innovative and capital-efficient. All in a region dominated by small to mid-sized firms that compete

and win.

is
happier
Welcome........................................................................................................ Central Oregon Overview................................................................................ Population..................................................................................................... Move.............................................................................................................. Relocate / Expand.......................................................................................... Start................................................................................................................ Entrepreneurial Support................................................................................. Grow............................................................................................................... Workforce...................................................................................................... Delivering What Is Expected......................................................................... Transportation............................................................................................... Services / Infrastructure................................................................................ Top Employers............................................................................................... Foundations of Central Oregon’s Economy................................................... Lifestyle......................................................................................................... About EDCO................................................................................................... 2 3 4 6 7 8 9 10 11 12 13 14 15 16 20 21 Page 2 - Economic Development for Central Oregon
globally –

Regional Population: 253,761

(2021 estimates from Portland State University)

Regional Labor Force: 123,953

(Seasonally adjusted total for 2021 from Oregon Employment Department)

Bend-Redmond MSA GDP Per Capita:

(2020 estimate from the Bureau of Economic Analysis)

*Bureau of Economic Analysis data is only available for the Bend-Redmond MSA

$54,390

Access to and from our region has never been easier with five national carriers flying up to 54 segments daily to nine international airports. Central Oregon is served by one of the most vibrant and successful regional airports in the country at Redmond (RDM).

CENTRAL OREGON OVERVIEW
edcoinfo.com - Page 3

Central Oregon has been among the fastest growing regions anywhere in the U.S.

In-migration has been the dominating factor in the region’s growth. With millions of visitors annually, Central Oregon continues to attract thousands of new residents from all over the country each year for it’s outdoor amenities, arts and culture opportunities, quality healthcare, and a growing education system.

POPULATION CHANGES FOR CENTRAL OREGON

Area

“Central Oregon’s economic growth is stronger than the state and nation overall. The primary reason is the high quality of life that attracts new residents. Faster population growth means local businesses can hire and expand at a faster rate due to the influx of working-age migrants and the growing labor force.”

POPULATION Oregon Jefferson County 11.4% 14.6% 85.2% 63.7%
Percent Change 2010 - 2021 Net Migration % 2010 - 2021 Counties Deschutes County 28.9% 89.0% Crook County 21.5% 81.1%
Population
Center, PSU 2021. Oregon Employment Department, 2021. Page 4 - Economic Development for Central Oregon
Source:
Research

NEW RESIDENTS, NEW IDEAS & NEW ENERGY

#1 TOP 10 COOLEST PLACES

TO GO IN THE NEXT 10 YEARS

With over 4.5 million visitors flocking to Central Oregon each year, it proves a great introduction to our region’s culture, lifestyle and a great first impression for businesses. Central Oregon and the Bend-Redmond MSA continually top the nation in population growth. In fact, Bend has been among the 15 fastest growing cities in the U.S. five of the last six years. While our population grows, so does our workforce. We’re cultivating a community that has consciously decided to live here and attracting new talent pools to serve the increasing demand for labor.

POPULATION TOTALS FOR CENTRAL OREGON

- FORBES
2021 Oregon 3,837,300 4,237,256 3,421,399 4,013,845 4,266,620 Area 2010 2020 2000 2015 2021 Crook County 21,020 23,440 19,184 21,085 25,482 Deschutes County 157,905 197,015 115,367 170,740 203,390 Bend 76,740 92,840 52,029 81,310 100,922 La Pine 1,660 2,005 1,670 2,654 Redmond 26,225 32,215 13,481 27,050 36,122 Sisters 2,040 3,220 959 2,280 3,286 Unincorporated 51,240 66,735 48,898 53,151 60,406 Jefferson County 21,750 24,105 19,009 22,445 24,889 Tri-County Total Source: Population Research Center, PSU. 2000 & 2010 Census numbers are for April 1 of that year; 2015-2021 data are for July 1 of that year. 200,675 244,560 153,560 214,270 253,761 Not incorporated
,
11.4% % Growth 2010-2021 21.5% 28.9% 24.1% 27.4% 38.0% 15.3% 14.6% 20.9% 37.7% edcoinfo.com - Page 5

We guide employers outside the region through the relocation process as a resource for regional data, incentives, talent, site selection, and A-Z problem solving.

Business Cost Comparison

Oregon offers more incentive programs to traded-sector* businesses than Washington or California. Even without taking those incentives into consideration, Oregon is still a more cost-effective choice for doing business. Contact EDCO for a detailed look at the business costs in Central Oregon. *companies that sell their products or services outside the area, bringing new jobs and capital investment to the area

Electricity Rate (¢/kWh)

Natural Gas Rate ($/kcf)

& Local Sales Tax Rate

Sources: Tax Foundation 2022, US Energy Information Association (Natural Gas) 2021, US Energy Information Association (Electricity) 2021

“While our move to Central Oregon may have started for personal reasons, it has allowed us to do more with our business than we thought possible. It has allowed us to hire amazing employees – the available talent here in Central Oregon has proven to be of the highest caliber and chocked full of integrity. Sometimes you feel like you can get lost in a big city. In Sisters we have been able to be part of a growing and nurturing business community.” - Wyatt Woods, President and Owner, Holy Kakow

Case Study: Holy Kakow

Founded in Portland in 2009, Holy Kakow creates premium organic chocolate sauces and syrups that are used in coffee shops across the nation and globe. After running the business for nearly a decade, Founder Wyatt Woods decided a move to the City of Sisters would be beneficial for his family. The next step was to figure out how to move the successful business. After EDCO’s help with site selection, incentives, permitting, and more, Holy Kakow was able to move their operations into a new building in the Sisters Business Park. The relocation allowed them to scale for growth, even during the pandemic, expanding their employment from three to eight in the span of a couple months. Holy Kakow have their sights set on new product launches. With the backing of the community and the growing number of craft food businesses in Sisters, the company is surrounded by a strong business ecosystem to help them succeed.

MOVE
6.16¢ Avg.
None State
$4.73
#22 State
Climate Index OR 15.14¢ 7.25%+ $9.74 #48 CA 5.81¢ 6.5%+ $7.72 #15 WA
Avg.
Business Tax
Page 6 - Economic Development for Central Oregon

RELOCATE & EXPAND

Get connected to our growing industry clusters that include: craft brewing/distilling, bioscience, outdoor products, technology, aerospace, and advanced manufacturing.

We link you to tools to help your company including: connections to the local supply chain, talent acquisition, incentives, business finance, market intelligence, and more.

WHY CENTRAL OREGON?

Central Oregon offers a pro-business environment with several incentives and supportive business finance options to encourage economic growth. Oregon also allows corporate net operating losses to be carried forward for up to 15 years without a cap, which can meaningfully reduce your business’s tax liability.

We help you navigate the regional and local real estate market, infrastructure and permitting processes.

For businesses looking to relocate, Central Oregon has a reputation for welcoming new companies. The region offers a tightknit community without sacrificing talent, education opportunities, or quality healthcare. EDCO’s network can help your business streamline decisions when choosing a new home.

edcoinfo.com - Page 7

* EDIT TITLE

START

We mentor and advise scalable young companies from concept to exit on issues such as access to capital, critical expertise and business strategy.

“The support we’ve received from EDCO and other organizations has been tremendous and allowed us to grow and develop our network and further develop our business in a short time. Their proactive approach to assisting and encouraging entrepreneurship in this region has been paramount to some of the large strides we’ve taken this year.”

- Ryan Goodwin, Founder & Lead Designer Engineer, SherpTek

Case Study: SherpTek

SherpTek was among the first tenants to take occupancy in the redeveloped Woodgrain mill site, re-branded the “Prineville Campus,” where they design and manufacture modular truck bed systems and accessories to improve the functionality and adaptability of pickup trucks for day-to-day use and outdoor adventures.

SherpTek is an innovator in the automotive/outdoor industry. Their Founder and Lead Design Engineer, Ryan Goodwin, uses composite aerospace materials and construction methods to create a lightweight, yet super durable, precision-engineered product. SherpTek was one of Prineville’s first companies to pitch at EDCO’s Central Oregon PubTalk, an event that showcases local entrpreneurs. The company has been and continues to be supported by EDCO as well as many local and State partners in areas such as business financing, incentive utilization, internship coordination, staffing, network connections, scalability, and pitch coaching. Despite having just moved their start-up to Prineville earlier this year, SherpTek has ingrained itself into the entrepreneurial fabric of the region. They are already expanding their manufacturing facilities, hiring additional employees and training local high school students on their specialized processes.

Page 8 - Economic Development for Central Oregon

A driving force for our economic performance is a collaborative and inclusive entrepreneurial community. This is supported via the number of new business registrations, which has outpaced far larger cities. In 2022, AdvisorSmith ranked Bend fifth for Top Midsize Cities where Americans Start the Most Businesses at 3.79 businesses started per 1,000 residents.

The region is large enough to provide resources and access to capital that help new entrepreneurs get started, while still being small enough that those resources are interconnected to support businesses as they grow. Unique to Central Oregon, given its size, are the numerous community resources and assets that are available. Assets managed by EDCO include monthly Central Oregon PubTalks, the Stable of Experts mentorship program and the largest Angel Conference in the PNW, the Bend Venture Conference.

BEST SMALL CITIES FOR STARTING A BUSINESS

Source: WalletHub, April 2022.

Both Redmond and Bend made WalletHub’s Top 30 list for best cities to start a business at #16 and #17 respectively, based on an index of criteria that included business environment, access to resources and business costs. They were the only two Oregon cities to make it in the top 350 of 1,334 small cities ranked in the index.

ENTREPRENEURIAL SUPPORT St. George, UT Bend, OR 359 1 2 3 16 17 4 1 8 5 3 54 Area
Access to Resources Rank National Rank Business Environment Rank Washington, UT 3 Bozeman, MT 18 Redmond, OR 127
edcoinfo.com - Page 9

We partner with local traded-sector companies to help them grow and expand, offering them the very same incentives and assistance as relocation projects.

Case Study: Broken Top Brands GROW

“Our flagship manufacturing facility is located in Bend, nestled at the base of the Cascade Mountain Range, which also inspired the brand name. The views and outdoor amenities are unmatched, but the entrepreneurial and community support we have received from day one has been the driving factor in bringing our homegrown business sustainable success in Oregon and beyond. Our employees, customers and partners are what make Bend home and inspire continued growth.” - Affton Coffelt, Founder and CEO, Broken Top Brands

Broken Top Brands creates handmade, sustainable, eco-conscious candles and body products that have been featured in National media outlets such as BuzzFeed, Oprah Daily and HuffPost. Started in 2015 out of Founder Affton Coffelt’s kitchen in Bend as Broken Top Candle Co., the company has now blossomed to 19 employees and recently moved into an 18,000 SF manufacturing facility.

Broken Top Brands is currently selling an array of all natural, biodegadble and paraben-free lifestyle products in the USA, as well as Canada and parts of Europe. The brand’s market is primarily wholesale with an organically growing e-commerce presence. Customers can find their products in over 2,800 retail locations nationally and internationally, with Whole Foods being their largest account.

Broken Top Brands was attracted to starting a business in Central Oregon for its quality of life and supportive community. Due to it’s unique company culture and location, the business has had success retaining employees which has enabled its continued expansion. Although supply chain timelines and transportation costs have been challenges through the pandemic, Broken Top Brands has sustained steady growth and continues to partner with EDCO, 1% for the Planet, One Tree Planted, Opportunity Knocks, Bend Chamber, and Business Oregon to serve their loyal customer base.

Page 10 - Economic Development for Central Oregon

- MILKEN INSTITUTE, 2022

Workforce Development #5 FOR 5-YEAR JOB GROWTH IN THE U.S.

Private sector employment grew by 47% in Central Oregon over the last 10 years, which is significantly faster than the statewide growth of around 20%. Employment in the private sector is projected to grow by 12% across the region between 2019 and 2029. -

Improving the Readiness and Employability of Central Oregon’s Future Workforce

Now in its fourth year, Youth CareerConnect (YCC) continues to connect employers and students with real work experience throughout Central Oregon. By supporting internships and experiential learning opportunities in the community, YCC has made it simpler for schools and employers to connect while fostering a work-ready labor force for years to come.

YCC Internship Coordinators host office hours at schools across the region to help students with professional goal setting, resume writing, interview skills, and internship placement for high school, college and alternative education students. Since its inception in 2017, YCC has built a rolodex

over 360 business partners and placed more than 493 students in meaningful internships. Personalization for both the business and the student is at the core of what YCC does, and why it continues to thrive. To get involved with Youth CareerConnect, visit: youthcareerconnect.org

WORKFORCE
Damon Runberg, Oregon Employment Department
of
Source: State of Oregon Employment Department, 2021 Oregon 14.3% U.S. MANUFACTURING EMPLOYMENT GROWTH (2010-2021) 7.1% Deschutes County 60.6% Redmond 75.3% edcoinfo.com - Page 11

DESCHUTES COUNTY #1

“Central Oregon enjoys a truly collaborative environment. Everyone is not only supportive of each other, but excited to see one another grow. We share the same trails, rivers and slopes and ultimately share a similar vision to help the region succeed.”

The combination of a collaborative culture, a supportive attitude among government and economic development partners, plus a location that attracts talent and investment all help Central Oregon compete nationally.

COUNTY
IN OREGON -SMARTASSET, 2022 Rank County New Building Permits (per 1,000 homes) Business Growth Federal Funding (per capita) GDP Growth (millions) Incoming Investment Index 1 3 5 2 4 6 Deschutes 26.4 Marion 13.8 Washington 13.4 Crook 21.8 Linn 15.8 Jefferson 9.8 Oregon Totals 7.8 11.3% $211 6.8% $920 4.1% $340 7.8% $225 4.8% $103 8.9% $192 3.4% $265 $317 56.94 $354 43.91 $660 42.09 $23 49.48 $111 42.77 $17 41.99 $1,480 Source: SmartAsset, 2022 INCOMING INVESTMENT BY COUNTY IN OREGON DELIVERING WHAT IS EXPECTED Page 12 - Economic Development for Central Oregon
RECEIVING THE MOST INCOMING INVESTMENT

AIR

Redmond Municipal Airport (RDM; www.flyrdm.com ) provides commercial air service with an average of 27 daily outbound flights to Burbank, Denver, Los Angeles, Palm Springs, Phoenix, Salt Lake City, San Diego, San Francisco, and Seattle via five carriers (Alaska, American, Avelo, Delta, and United).

RAIL

Burlington Northern-Santa Fe (BNSF), Union Pacific (UPRR) and the City of Prineville Railway (COPR) provide direct connections for shipping to any market in the United States, Canada and Mexico.

FREIGHT

U.S. Highways 97 and 20 are two of the State’s major trucking routes, with access to major metro areas with connections to Interstate 5 (N-S) and Interstate 84 (E-W).

Average Commute Times

SanFranciscoLosAngeles Seattle Portland Denver Bend

The Central Oregon average commute time is 24 minutes each way, saving the average worker nearly one work week per year !

Source: Census.gov 2021

Travel Time & Distance by Car

Travel Time By Air

TRANSPORTATION 30 min 33.3 min 31.9 min 27.7 min 26.2 min 16.6 min 25.7 min
20 min 10 min 0 min PORTLAND, OR 164 miles 3 hours, 13 minutes OLYMPIA, WA 269 miles 4 hours, 44 minutes SALT LAKE CITY, UT 1 hour, 30 minutes SEATTLE, WA 329 miles 5 hours, 46 minutes BURBANK, CA 1 hour, 30 minutes DENVER, CO 2 hours, 24 minutes LOS ANGELES, CA 820 miles 12 hours, 38 minutes BEND, OR REDMOND, OR RDM MEDFORD, OR 173 miles 3 hours, 15 minutes SEATTLE, WA 1 hour, 10 minutes BOISE, ID 316 miles 5 hours, 12 minutes SAN FRANCISCO, CA 1 hour, 10 minutes LOS ANGELES, CA 2 hours SAN FRANCISCO, CA 491 miles 7 hours, 55 minutes
hour,
minutes SAN DIEGO,
2 hours, 40 minutes PALM SPRINGS,
Coming November 2022 edcoinfo.com - Page 13
PHOENIX, AZ 2
30
CA
CA

UTILITIES

Most of our region has been newly built in the past two decades, making Central Oregon’s telecommunications infrastructure one of the Northwest’s most technologically advanced. Businesses and telecommuters benefit from reliable fast data speeds and upload times.

EDUCATION

Central Oregon is well-recognized for its high level of education, with some of the best K-12 public schools in the nation. In 2021, the Bend-La Pine school district’s average SAT scores surpassed the national average by over 180 points. Additionally, our higher education opportunities abound. From Oregon State University-Cascades’ ongoing expansion, to Central Oregon Community College’s four campuses in the region, there are opportunities for all to obtain a quality education.

HEALTHCARE

St. Charles Health System is the largest healthcare provider in the region, and is also the largest employer with over 4,500 employees across the tri-county area. The hospital received HealthGrade’s 2021 Pulmonary Care Excellence Award™ and offers a network of more than 100 clinics and specialty practices throughout the community.

SERVICES & INFRASTRUCTURE
Page 14 - Economic Development for Central Oregon

According to the Oregon Employment Department, 76% of Oregon establishments have between one and nine covered payroll employees and the average private establishment employs around 11 people.

Still, a number of large employers operate successfully here, tapping into Central Oregon’s ever-expanding workforce, the overall low cost of doing business and business-friendly local governments. This year, the top 50 private companies collectively employ nearly 21,000 Central Oregonians, or roughly 21.9% of the region’s current total employment.

2021 Central Oregon Industry Composition Private by Employment Trade, Transportation, & Utilities Education & Health Services Leisure & Hospitality Professional & Business Services Mining, Logging & Construction Manufacturing Financial Activities Other Services Information 7% 4% 2% CENTRAL OREGON RANKED #1 IN THE STATE FOR JOB GROWTH AT 29.7% - Oregon Employment Department , 2011-2021 TOP EMPLOYERS 1 9 17 5 13 21 7 15 23 31 27 35 T-24 T-33 T-29 37 42 45 T-46 2022 1 7 T-13 5 12 T-23 8 15 T-23 36 T-17 T-38 28 T-38 T-31 37 NL 47 46 2021 4,509 605 336 894 375 249 640 350 238 206 225 199 235 200 220 176 159 153 150 2022 St. Charles Health System regional 2022 Central Oregon Largest 50 Private Employers Employees Rank McDonald’s regional PacificSource Mt. Bachelor Black Butte Ranch Opportunity Foundation Fred Meyer regional Meta - Facebook Data Center NeighborImpact regional Endura Products Eagle Crest - Aimbridge Hospitality Keith Manufacturing Co. 10 Barrel Brewing Co. Touchmark at Mt. Bachelor Village Tetherow First Interstate Bank regional Hayden Homes Rebound Physical Therapy regional Dutchie 4,626 682 365 860 375 259 669 350 259 200 300 195 230 195 220 198 122 149 150 2021 2 10 18 6 14 22 8 16 T-24 32 28 36 T-39 41 44 T-46 50 26 T-33 T-29 38 T-39 43 T-46 49 2 10 20 6 T-13 19 9 T-23 22 21 35 48 NL 42 41 T-43 T-50 29 40 33 45 30 T-31 T-17 T-43 1,030 440 296 714 365 245 628 340 235 204 221 190 165 164 154 150 142 226 200 220 171 165 157 150 149 Bright Wood Corporation regional Lonza, formerly Bend Research High Lakes Health Care regional Safeway regional ibex Consumer Cellular Summit Medical Group regional BASX Pronghorn Resort Bi-Mart regional Epic Air Indian Head Gaming Albertsons regional Nosler J Bar J Youth Services Deschutes Brewery Laird Superfood NL = Not Listed | T = Tied PCC Schlosser Sunriver Brewing Company The Center (Ortho/Neuro Care) Western Heavy Haul & SMAF G5 Riverhouse on the Deschutes BendBroadband/TDS Telecom Ray’s Food Place regional 1,093 438 279 751 365 294 607 259 270 272 210 145 201 173 174 162 132 224 190 216 155 221 220 300 162 3 11 19 3 16 26 1,000 415 280 Sunriver Resort Rosendin Electric Inc. Brasada Ranch 1,000 317 250 4 12 20 4 11 27 916 391 267 Les Schwab regional Mosaic Medical regional Medline ReNewal 890 378 246 21% 19% 16% 13% 10% 9% Source:
edcoinfo.com - Page 15
State of Oregon Employment Department, 2021

ADVANCED MANUFACTURING

• More than 100 businesses in advanced manufacturing make their own products here in Central Oregon, as well as provide a critical role in the supply chain for other OEM in aviation/aerospace, brewing & distilling, specialty food processing, and automotive.

• Additive and subtractive machining of metals and plastics, advanced welding and metal fabrication, specialty metals casting, production printing and publishing, as well as specialized machinery and equipment continue to advance locally.

• The largest employers in this industry group include Precision Cast Parts (PCC) Schlosser, Keith Manufacturing and BasX Solutions.

AVIATION & AEROSPACE

• The production of light aircraft in Central Oregon spans back more than 30 years and over that time, 25 aircraft have moved through the process of conceptual design to flight.

• Composite (carbon fiber) fabrication and innovation aircraft are the region’s specialty offering a cluster of world-class talent and capabilities here.

• Some of the most successful flight training programs in the country are located in the region with both fixed-wing and helicopter flight schools that serve the global industry, including Leading Edge, Hillsboro Aero Academy and Central Oregon Community College.

OF CENTRAL
Page 16 - Economic Development for Central Oregon
FOUNDATIONS
OREGON’S ECONOMY

FOUNDATIONS

BIOSCIENCE

• Producing everything from titanium implants to cutting edge drug research, our bioscience industry has been experiencing year-over-year double digit employment growth for nearly a decade.

• Quietly, Central Oregon’s bioscience industry has proven capable of attracting world class scientific and technical talent that has made companies here competitive on a global scale.

• Swiss-based pharmaceutical research and manufacturer Lonza is the largest bioscience company in the region, and among the largest in Oregon, with two campuses and additional operations scattered across the region.

BREWING & DISTILLING

• Central Oregon is home to breweries both large and small, with Deschutes Brewery’s production placing it in the top 10 largest craft breweries in the U.S.

• For Oregon, which has 312 craft breweries, nearly one-third of the largest 30 brewers by volume, are located in Central Oregon – testimony to the quality of product produced here.

• The region is also home to a dozen craft cideries and distilleries, two of which, Bendistillery and AVID Cider, are the second largest in the state in their respective sectors.

#3 LEADING HOP PRODUCTION STATE -STATISTA, 2020 #2 BEST CITIES FOR BEER DRINKERS -SMARTASSET, 2022
OF CENTRAL
ECONOMY edcoinfo.com - Page 17
OREGON’S

FOUNDATIONS OF CENTRAL OREGON’S ECONOMY

BUILDING PRODUCTS

• After 100+ years and considerable systemic change across the industry, the building products sector is still Central Oregon’s largest traded-sector employer.

• Businesses in this sector compete and win on a global scale, innovating and automating as global leaders in their respective sub-industries, including wood doors and windows, mouldings, cabinetry, furniture, and musical instruments.

• The region’s largest manufacturer and second largest private employer, Brightwood Corporation, is based in Madras, with operations in Redmond, Culver and Prineville. The company has been growing in Central Oregon for over a half century.

OUTDOOR GEAR & APPAREL

• Central Oregon is home to a diverse group of businesses in a variety of subsectors, including rock climbing, water sports, hydration, hiking, backpacking, recreational vehicles, road and mountain biking, outerwear, and software.

• The region is home to the Oregon Outdoor Alliance (OOA) and Oregon’s Office of Outdoor Recreation, both of which are dedicated to connecting and cultivating the industry.

• Bend Outdoor Worx is the country’s first dedicated startup accelerator for the industry and offers investment, exposure and access to vetted resources for outdoor innovators.

GREAT CITIES IN THE U.S. FOR OUTDOOR ADVENTURES - WASHINGTON POST, 2022

#5
Page 18 - Economic Development for Central Oregon

FOUNDATIONS OF CENTRAL OREGON’S ECONOMY

PROFESSIONAL SERVICES

• Professional services are incrasingly being exported out of the tri-county region including engineering, architecture, accounting, HR, recruitment, creative services, advertising, and publishing to name a few

• The creative, marketing and advertising sub-sectors of this industry are particularly strong in Central Oregon with firms being attracted to the region from as far away as Barcelona, Spain.

TECHNOLOGY

• Including software companies, electronics manufacturers, alternative energy and data centers, the region has over 130 tech companies employing nearly 3,000 people.

• Five dozen software companies call the region home, more often than not locating their headquarter operations here.

• Prineville is a growing data center hub and is home to Meta’s first and largest data center campus, a 4.5 million square foot complex. Central Oregon offers a unique advantage for data centers due to its available infrastructure, affordable industrial land, multiple telecom carriers, desert climate, and globally competitive tax incentives.

#3 FOR 5-YEAR HIGH TECH GDP GROWTH -MILKEN INSTITUTE, 2022 edcoinfo.com - Page 19

Located on the eastern slopes of the Cascade Range, where vast forests give way to the arid high desert, Central Oregon boasts year-round adventure and a rare mix of city amenities and world-famous outdoor recreation. The region offers the slower speed of a small town with access to toprated healthcare and infrastructure to support continued economic growth.

TOP 100 BEST PLACES TO LIVE IN AMERICA

-MONEY, 2019 & LIVABILITY, 2020

#2 MOST FITNESS FRIENDLY PLACE IN THE U.S.

-SMARTASSET, 2022

#10 BEST SMALL CITIES FOR BUSINESS

-U.S. CHAMBER OF COMMERCE, 2022

M T.

BACHELOR AMONG BEST SKI AREAS IN THE U.S. -AFAR, 2020

#10 BEST PERFORMING SMALL CITIES & #1 FOUR YEARS IN A ROW

-MILKEN INSTITUTE, 2022

30+ Golf Courses 31 Breweries & Counting Flourishing Arts & Culture Scene Miles and Miles of Trails

#4 BEST MOUNTAIN TOWNS IN AMERICA

-THRILLIST, 2021

300 Days of Sunshine

LIFESTYLE
Page 20 - Economic Development for Central Oregon

ABOUT EDCO

Founded in 1981, EDCO is a non-profit corporation supported by private and public members and stakeholders. Our mission is to create a balanced and diversified economy with a strong base of middle-class jobs in Central Oregon.

To do this, we focus on helping companies do the following:

MOVE. We guide employers outside the region through the relocation process as a resource for regional data, incentives, talent, site selection, and more.

START. We mentor and advise scalable young companies from concept to exit on issues such as access to capital, critical expertise and business strategy.

GROW. We partner with local traded-sector companies to help them grow and expand.

• Upcoming networking events, luncheons, conferences, and more

• EDCO Info Hub: current comprehensive data for Central Oregon

• Stable of Experts: a network of seasoned professionals with a passion for start-ups and small businesses

• Success stories from regional businesses

Additional information available at EDCOINFO.COM
Fiscal Year Companies Jobs (New & Retained) New Capital Investment 2020 - 2021 2018 - 2019 2016 - 2017 2019 - 2020 2017 - 2018 2021 - 2022 Totals 34 40 48 36 31 13 202 451 587 735 774 288 483 3,318 $208.7 million $70.5 million $2.1 billion $67.1 million $199.7 million $1.98 billion $4.63 billion AmeriTitle BendTel Cascade Natural Gas Central Electric Cooperative Central Oregon Community College City
Bend City
Pine City
City
City
City
Combined Communications Crook County Deschutes
First Interstate Bank Jefferson County Mid Oregon Credit Union
Pacific Power PacificSource Health Plans
Sensiba
St.
Bank Velox Systems EDCO Platinum Members EDCO Contact Information Regional Office (Bend) CEO: Jon Stark Director: Don Myll 705 SW Bonnett Way Ste. #1000 Bend, OR 97702 541.388.3236 Redmond Director: Steve Curley 411 SW 9th Street Ste. #203 Redmond, OR 97756 541.923.5223 Prineville/Crook County Director: Kelsey Lucas PO Box 153 Prineville, OR 97754 541.213.3169 Sisters Director: Eric Strobel 520 E Cascade Street Sisters, OR 97759 541.410.8630 Sunriver/La Pine Director: Patricia Lucas 16345 Sixth Street La Pine, OR 97739 248.693.3049 Public Contracts EDCO’S Funding Sources Private Members Earned Revenue Other 36% 30% 21% 16% EDCO’S RESULTS edcoinfo.com - Page 21
• Business news on EDCO’s blog
of
of La
of Madras
of Prineville
of Redmond
of Sisters
County
OSU-Cascades
Schwabe, Williamson & Wyatt
San Filippo
Charles Health System U.S.
EDCOINFO.COM #EDCOINFO @EDCOINFO 705 SW BONNETT WAY SUITE 1000 BEND, OR 97702 541.388.3236

Turn static files into dynamic content formats.

Create a flipbook
Issuu converts static files into: digital portfolios, online yearbooks, online catalogs, digital photo albums and more. Sign up and create your flipbook.