1144 Highland View Loop, Redmond - Homebook

Page 1

Deschutes County Title has provided this information as a courtesy and assumes no liability for the accuracy of the data and does not warranty the fitness of this product for any particular purpose. 1144 Highland View Loop|Redmond|Oregon|97756 Bend 397 SW Upper Terrace Dr Bend, Oregon 97702 Office: 541.389.2120 Fax: 541.389.2180 Redmond 845 SW Veterans Way Redmond, Oregon 97756 Office: 541.527.1274 Fax: 541.527.1281 La Pine 51515 Huntington Rd La Pine, Oregon 97739 Office: 541.876.6990 Fax: 541.876.2740 St Helens 240 South First Street St. Helens, Oregon 97051 Office: 503.397.2587 Fax: 503.366.1708 HOMEBOOK www.deschutestitle.com

*Customary for Seller to Pay

RealEstateAgentCommissions

Reconveyance/ReleaseFees

PrepaymentPenalties(IfApplicable)

Owner'sTitleInsurance

EscrowFee

TaxProrations

LienSearch(ifapplicable)

Mortgages&Encumbrances

AnyPropertyTaxDue

LoanOriginationFee/Discount

CreditFee

MortgageInsurance(ifapplicable)

ReserveSetUpFee(ifapllicable)

FireInsurance1year(homeownerspolicy)

Floodinsurance(ifapplicable)

FloodandTaxCertifications

PrepaidInterest

HomeOwnersAssociationFees(ifapplicable)

VAFundingFee

TaxProration

EscrowFee

RecordingFee LendersTitleInsurance

* Items listed are intended to represent only what may be customarily charged and may not reflect actual charges at closing. Consult with your real estate professional or title company representtaive for actual charges specific to your transaction.

Seller to pay full escrow fee (includes buyer escrow fee)

ConventionalFHA VA ● ● ● ● ● ● ● ● ● ● ● ● ● ● ● ● ● ● ● ● ● ● ● ● ● ● ● ● ● ● ● ● ● ● ● ● ● ConventionalFHA VA ● ● ● ● ● ● ● ● ● ● ● ● ● ● ● ● ● ● ● ● ● ● ● ● ● ● ● ● ● ● ● ● ● ● ● ● ● ● ● ● ● ● ● ● ●
GUIDE TO CLOSING COSTS
Buyer'sLenderFees(variesbylender)
AppraisalFee
TypeofFinancing TypeofFinancing
for Buyer to Pay Cash (no loan) Cash (no loan)
*Customary
Deschutes Title Market Report Redmond, OR 97756 REPORT FOR 9/11/2023 Single-Family Homes Presented by Kevin White 541-389-2120 kwhite@titlemanagement.org www.deschutestitle.com

This week the median list price for Redmond, OR 97756 is $599,000 with the market action index hovering around 39. This is less than last month's market action index of 40 Inventory has increased to 205.

Market Action Index

This answers “How’s the Market?” by comparing rate of sales versus inventory.

Redmond, OR 97756

Real-Time Market Profile

LastMonth 39

Slight Seller's Advantage

In the last few weeks the market has achieved a relative stasis point in terms of sales to inventory However, inventory is sufficiently low to keep us in the Seller’s Market zone so watch changes in the MAI. If the market heats up, prices are likely to resume an upward climb.

Market Segments

Each segment below represents approximately 25% of the market ordered by price.

Single-Family Homes
Median List Price $599,000 Median Price of New Listings $569,000 Per Square Foot $319 Average Days on Market 74 Median Days on Market 42 Price Decreased 40% Price Increased 4% Relisted 2% Inventory 205 Median Rent $2,695 Market Action 39 Slight Seller's Advantage Deschutes Title Market Report deschutestitle.com
Buyer's Market Seller's Market 0 10 20 30 40 50 60 70 80 90 100 Tod a y
Median Price Sq. Ft. Lot Size Beds Bath Age New Absorbed DOM $995,000 2,408 1 - 2 5 acres 3 2 5 21 7 0 49 $650,000 2,149 6,500 - 8,000 sqft 3 2.5 1 3 3 56 $575,000 1,906 4,500 - 6,500 sqft 4 2 2 8 1 42 $472,445 1,466 4,500 - 6,500 sqft 3 2 17 13 6 28 2 of 6 Mon Sep 11 2023 Powered by Altos Research, Inc. | www.altos.re | Copyright © 2023 Altos Research, Inc.

Median List Price

Again this week we see prices in this zip code remain roughly at the level they’ve been for several weeks. Since we’re significantly below the top of the market, look for a persistent up-shift in the Market Action Index before we see prices move from these levels.

Segments

In the quartile market segments, we see prices in this zip code have settled at a price plateau across the board. Prices in all four quartiles are basically mixed. Look for a persistent shift (up or down) in the Market Action Index before prices move from these current levels.

Single-Family Homes Redmond, OR 97756 Deschutes Title Market Report deschutestitle.com
7-Day
90-Day
Sep 2018 Apr 2019 Oct 2019 Apr 2020 Oct 2020 Apr 2021 Oct 2021 Apr 2022 Oct 2022 Apr 2023 $300K $400K $500K $600K $700K $800K $900K
Average
Average
Top 90-Day Upper 90-Day Lower 90-Day Bottom 90-Day Sep 2018 Apr 2019 Oct 2019 Apr 2020 Oct 2020 Apr 2021 Oct 2021 Apr 2022 Oct 2022 Apr 2023 $1.0M $0 $250K $500K $750K $1.3M $1.5M 3 of 6 Mon Sep 11 2023 Powered by Altos Research, Inc. | www.altos.re | Copyright © 2023 Altos Research, Inc.

Price Per Square Foot

The market plateau is seen across the price and value. The price per square foot and median list price have both been reasonably stagnant. Watch the Market Action Index for persistent changes as a leading indicator before the market moves from these levels.

7-Day Average 90-Day Average

Inventory has been climbing lately. Note that rising inventory alone does not signal a weakening market. Look to the Market Action Index and Days on Market trends to gauge whether buyer interest is keeping up with available supply.

7-Day Average

Average

Single-Family Homes Redmond, OR 97756 Deschutes Title Market Report deschutestitle.com
Sep 2018 Apr 2019 Oct 2019 Apr 2020 Oct 2020 Apr 2021 Oct 2021 Apr 2022 Oct 2022 Apr 2023 $200 $250 $300 $350 $150 $400 Inventory
Sep 2018 Apr 2019 Oct 2019 Apr 2020 Oct 2020 Apr 2021 Oct 2021 Apr 2022 Oct 2022 Apr 2023 0 100 200 300 400 4 of 6 Mon Sep 11 2023 Powered by Altos Research, Inc. | www.altos.re | Copyright © 2023 Altos Research, Inc.
90-Day

Market Action Index

In the last few weeks the market has achieved a relative stasis point in terms of sales to inventory. However, inventory is sufficiently low to keep us in the Seller’s Market zone so watch changes in the MAI. If the market heats up, prices are likely to resume an upward climb.

Market Action Segments

Not surprisingly, all segments in this zip code are showing high levels of demand. Watch the quartiles for changes before the whole market changes. Often one end of the market (e.g. the high-end) will weaken before the rest of the market and signal a slowdown for the whole group.

Single-Family Homes Redmond, OR 97756 Deschutes Title Market Report deschutestitle.com
7-Day Average 90-Day Average Sep 2018 Apr 2019 Oct 2019 Apr 2020 Oct 2020 Apr 2021 Oct 2021 Apr 2022 Oct 2022 Apr 2023 100 0 25 50 75 125
Top 90-Day Upper 90-Day Lower 90-Day Bottom 90-Day Sep 2018 Apr 2019 Oct 2019 Apr 2020 Oct 2020 Apr 2021 Oct 2021 Apr 2022 Oct 2022 Apr 2023 20 40 60 80 100 120 5 of 6 Mon Sep 11 2023 Powered by Altos Research, Inc. | www.altos.re | Copyright © 2023 Altos Research, Inc.

Median Days on Market (DOM)

The properties have been on the market for an average of 73 days. Half of the listings have come newly on the market in the past 39 or so days. Watch the 90-day DOM trend for signals of a changing market.

Segments

It is not uncommon for the higher priced homes in an area to take longer to sell than those in the lower quartiles.

Single-Family Homes Redmond, OR 97756 Deschutes Title Market Report deschutestitle.com
7-Day Average 90-Day Average Sep 2018 Apr 2019 Oct 2019 Apr 2020 Oct 2020 Apr 2021 Oct 2021 Apr 2022 Oct 2022 Apr 2023 0 25 50 75 100 125
Top 90-Day Upper 90-Day Lower 90-Day Bottom 90-Day Sep 2018 Apr 2019 Oct 2019 Apr 2020 Oct 2020 Apr 2021 Oct 2021 Apr 2022 Oct 2022 Apr 2023 0 50 100 150 200 6 of 6 Mon Sep 11 2023 Powered by Altos Research, Inc. | www.altos.re | Copyright © 2023 Altos Research, Inc.

AreaProfiled:RidgeatEagleCrest39

ReportDate: 09/11/2023

SalesDates: 05/23/2004-07/12/2023

AverageSalePricebyYear:01/01/2015-09/11/2023

*35sale(s)areincludedinthegraph **38sale(s)withnosalepriceareexcludedfromthegraph

SalesStatisticsbyYear:01/01/2015-09/11/2023

AgeofHomes

*33sale(s)areincludedinthetable

**40sale(s)withnosalepriceorbuildingsqftareexcludedfromthetable

AssessedValues

InformationisdeemedreliablebutnotguaranteedPoweredbygeoAdvantage

NumberofParcels:101 ParcelswithViews:0
WaterfrontParcels:0
AverageLengthofResidence 6yr(s) OwnershipLength # %ofHomes 0-2Years 29 28% 2-4Years 23 22% 4-6Years 7 6% 6-10Years 18 17% 10+Years 24 23%
LengthofResidence
*101parcel(s)areincludedinthecalculation **0parcel(s)withnosaledateareexcluded fromthecalculation
Year # SalesPrice/SqFtPrice/FinSqFt % Turnover AvgSale Price MinSale Price MaxSale Price 2015 2 $55 $55 2 $125,500 $82,000 $169,000 2016 2 $44 $44 2 $160,000 $155,000 $165,000 2017 6 $185 $185 6 $482,000 $151,000 $753,000 2019 3 $135 $135 3 $368,167 $142,500 $800,000 2020 4 $164 $164 4 $418,000 $1 $749,500 2021 9 $273 $303 9 $788,776 $165,000 $1,150,000 2022 6 $364 $427 6 $1,059,276$850,000 $1,250,000 2023 1 $414 $414 <1% $1,175,000$1,175,000$1,175,000
AverageAgeofHome 10yr(s) YearBuilt # %ofHomes <5Years 21 21% 5-10Years 29 29% 10+Years 55 54% OwnerOccupancy OwnerMail # %ofHomes OwnerOccupied 71 70% InStateNon-OwnerOcc 24 24% OutofState 6 6%
AverageValues $486,443 YearAssessment # %ofHomes $1k-$250k 11 11% $251k-$500k 32 32% $501k-$750k 44 44% $751k-$15M 3 3% $15M+ 0 0%

Property Profile Taxes Deed

PropertyProfileSummary

SUBJECTPROPERTY

242895

DeschutesCounty

ADDRESS

1144HighlandViewLoop

Redmond,OR97756

OWNER

Kuenzi,Kerry

Kuenzi,Jodi

DATE 09/11/2023

PREPAREDBY SarahLewis

sarahl@deschutestitle.com

DESCHUTESCOUNTYPROPERTYPROFILEINFORMATION

Parcel#:242895

TaxLot:151216CB03900

Owner:Kuenzi,Kerry

CoOwner:Kuenzi,Jodi

Site:1144HighlandViewLoop

RedmondOR97756

Mail:967WoodlandDrNE

SilvertonOR97381

LandUse:801-Recreation-Improved(typicalofclass)

StdLandUse:RSFR-SingleFamilyResidence

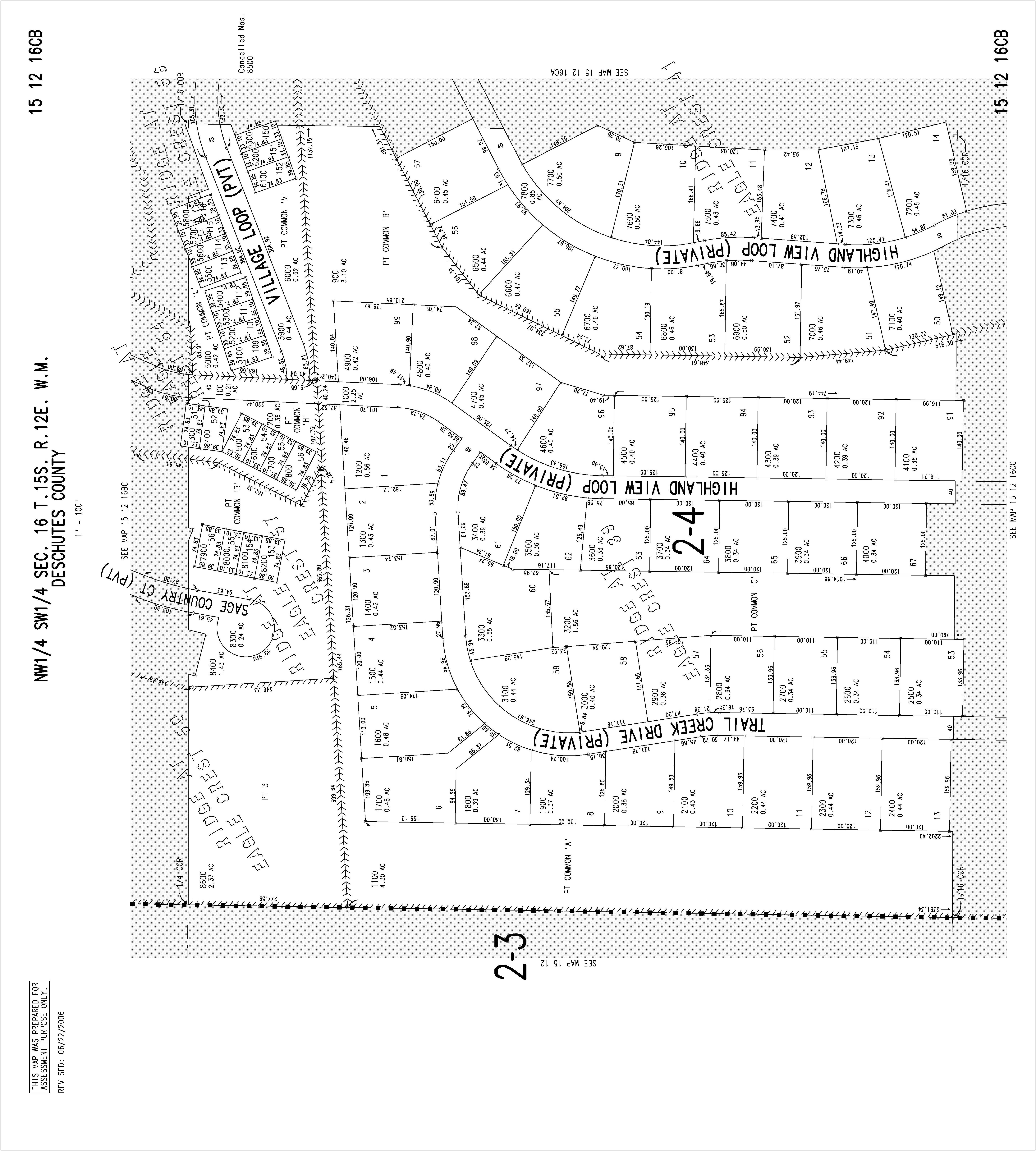
Legal:RIDGEATEAGLECREST39Lot:66

Twn/Rng/Sec:T:15SR:12ES:16Q:SWQQ:NW

ASSESSMENT&TAXINFORMATION

MarketTotal:$1,391,570.00

MarketLand:$195,000.00

MarketImpr:$1,196,570.00

AssessmentYear:2022

AssessedTotal:$687,380.00

Exemption:

Taxes:$10,623.30

LevyCode:2-004

LevyRate:154548

SALE&LOANINFORMATION

SaleDate:02/21/2014

SaleAmount:$560,00000

Document#:5340

DeedType:Deed

LoanAmount:

Lender:

LoanType:

InterestType:

TitleCo:WESTERNTITLE&ESCROWCO

PROPERTYCHARACTERISTICS

YearBuilt:2006

EffYearBuilt:

Bedrooms:4

Bathrooms:4

#ofStories:1

TotalSqFt:4,181SqFt

Floor1SqFt:4,181SqFt

Floor2SqFt:

BasementSqFt:

Lotsize:034Acres(14,810SqFt)

GarageSqFt:1,128SqFt

GarageType:

AC:

Pool:

HeatSource:

Fireplace:4

BldgCondition:

Neighborhood:010

Lot:66

Block:

Plat/Subdiv:RidgeAtEagleCrest39

Zoning:EFUSC-Efu-Sisters/CloverdaleSubzone

SchoolDist:2J-Redmond

Census:1021-000600

Recreation:

SentryDynamics,Inc anditscustomersmakenorepresentations,warrantiesorconditions,expressorimplied,astotheaccuracyorcompletenessofinformationcontainedinthisreport

Deschutes County Property Information

Report Date: 9/11/2023 9:12:51 AM

Disclaimer

The information and maps presented in this report are provided for your convenience. Every reasonable effort has been made to assure the accuracy of the data and associated maps. Deschutes County makes no warranty, representation or guarantee as to the content, sequence, accuracy, timeliness or completeness of any of the data provided herein. Deschutes County explicitly disclaims any representations and warranties, including, without limitation, the implied warranties of merchantability and fitness for a particular purpose. Deschutes County shall assume no liability for any errors, omissions, or inaccuracies in the information provided regardless of how caused. Deschutes County assumes no liability for any decisions made or actions taken or not taken by the user of this information or data furnished hereunder.

Account Summary

Account Information

Mailing Name:

Map and Taxlot:

Account:

Tax Status:

Situs Address:

Property Taxes Assessment

KUENZI, KERRY & JODI

151216CB03900 242895

Assessable

1144 HIGHLAND VIEW LOOP, REDMOND, OR 97756

Ownership

Mailing Address:

KUENZI, KERRY & JODI 967 WOODLAND DR NE

SILVERTON, OR 97381

Subdivision:

Block: 66 Lot:

RIDGE AT EAGLE CREST 39

Assessor Acres:

Tax Code Area: Current Tax Year: 2004 $10,623.31 0.34

Property Class: 801 -- RESORT

Warnings, Notations, and Special Assessments

Valuation $195,000 $1,196,570

Land Structures

Total $1,391,570

Current Assessed Values:

Maximum Assessed

Assessed Value

Real Market Values as of Jan. 1, 2022 $687,380 $687,380

Veterans Exemption

Review of digital records maintained by the Deschutes County Assessor’s Office, Tax Office, Finance Office, and the Community Development Department indicates that there are no special tax, assessment or property development related notations associated with this account. However, independent verification of the presence of other Deschutes County tax, assessment, development, and additional property related considerations is recommended. Confirmation is commonly provided by title companies, real estate agents, developers, engineering and surveying firms, and other parties who are involved in property transactions or property development. In addition, County departments may be contacted directly to discuss the information.

2018 - 2019 2019 - 2020 2020 - 2021 2021 - 2022 2022 - 2023 Real Market Value - Land $191,970 $161,500 $160,500 $169,000 $195,000 Real Market Value - Structures $736,080 $865,420 $890,580 $940,410 $1,196,570 Total Real Market Value $928,050 $1,026,920 $1,051,080 $1,109,410 $1,391,570 Maximum Assessed Value $610,740 $629,060 $647,930 $667,360 $687,380 Total Assessed Value $610,740 $629,060 $647,930 $667,360 $687,380 Veterans Exemption $0 $0 $0 $0 $0 Valuation History All values are as of January 1 of each year. Tax year is July 1st through June 30th of each year. Deschutes County Property Information Report, page 1

Tax Payment History

Sales History

Structures

Year Date Due Transaction Type Transaction Date As Of Date Amount Received Tax Due Discount Amount Interest Charged Refund Interest 2022 11-15-2022 PAYMENT 11-04-2022 11-04-2022 $10,304.61 ($10,623.31) $318.70 $0.00 $0.00 2022 11-15-2022 IMPOSED 10-12-2022 11-15-2022 $0.00 $10,623.31 $0.00 $0.00 $0.00 Total: $0.00 2021 11-15-2021 PAYMENT 11-03-2021 11-03-2021 $9,993.42 ($10,302.50) $309.08 $0.00 $0.00 2021 11-15-2021 IMPOSED 10-11-2021 11-15-2021 $0.00 $10,302.50 $0.00 $0.00 $0.00 Total: $0.00 2020 11-15-2020 PAYMENT 10-28-2020 10-28-2020 $9,509.72 ($9,803.83) $294.11 $0.00 $0.00 2020 11-15-2020 IMPOSED 10-09-2020 11-15-2020 $0.00 $9,803.83 $0.00 $0.00 $0.00 Total: $0.00
Sale Date Seller Buyer Sale Amount Sale Type Recording Instrument 02/21/2014 SLAUGHTER, JERRY KUENZI, KERRY & JODI $560,000 33-CONFIRMED SALE 2014-5340 07/06/2010 US BANK NA TRUSTEE SLAUGHTER, JERRY $478,000 13ESTATE/LENDER/DISTRESS SALE UNCONFIRMED 2010-28683 01/25/2010 BALL, BRYAN M US BANK NA TRUSTEE $578,000 10FORECLOSURE/BANKRUPTC Y/TRANSFER TO AVOID LIEN 2010-4105 10/31/2006 BRYAN BALL CONSTRUCTION INC BALL, BRYAN M $980,000 06-GRANTEE IS RELATED/FRIENDS/BUSINES S ASSOCIATES 2006-73086 04/11/2006 MALLERY,DARRELL V & SANDRA C BRYAN BALL CONSTRUCTION INC $350,000 30-UNCONFIRMED SALE 2006-25122 08/06/2004 MALLERY LIVING TRUST, MALLERY,DARRELL V & SANDRA C $0 08-GRANTOR/GRANTEE ARE THE SAME 2004-47720 07/03/2004 MALLERY,DARRELL V & SANDRA C MALLERY,DARRELL V & SANDRA C TRUSTEES $0 08-GRANTOR/GRANTEE ARE THE SAME 2004-40343 06/25/2004 EAGLE CREST INC MALLERY,DARRELL V & SANDRA C $190,000 26-NEW CONSTRUCTION OR NEW PROPERTY 2004-37506
Stat Class/Description Improvement Description Code Area Year Built Total Sq Ft Deschutes County Property Information Report, page 2 (For Report Disclaimer see page 1)

Related Accounts

Related accounts apply to a property that may be on one map and tax lot but due to billing have more than one account. This occurs when a property is in multiple tax code areas. In other cases there may be business personal property or a manufactured home on this property that is not in the same ownership as the land.

No Related Accounts found.

Service Providers Please contact districts to confirm.

161 - RESIDENCE: One story Sq ft per plan. 2004 2006 4,181 Floor Description Comp % Sq Ft First Floor 100 4,181 Living Dining Kitchen Nook Great Family Bed Full Bath Half Bath Bonus Utility Den Other 0 1 1 0 1 1 4 4 0 0 1 1 1 Rooms Floor Description Comp % Sq Ft Garage-Attached-Finished 100 1,128 AUTOMATIC DOOR OPENER 2 CARPET 1 COMP HVY - ROOF COVER 1,128 COOKTOP 1 DOUBLE OVEN 1 DRYWALL 1 FOUNDATION - CONCRETE 4,181 FULL BATH 1 FULL BATH W/2 LAVATORIES 1 GAS FIREPLACE 4 HARDWOOD FLOOR 1 HEAT PUMP/MINI SPLIT 4,181 HF/DW/GD/MW 1 KITCHEN SINK 1 LAUNDRY TUB 1 LAVATORY 3 RECESSED LIGHTING 1 ROOF - GABLE-HIP 1 ROOF CVR - COMP HEAVY 4,181 SHOWER W/DOOR, FIBERGLASS 1 SHOWER WDOOR, TILE 1 SIDING - BOARD & BAT 1 SIDING - STONE 1 SIDING - STONE TRIM 1 TILE FLOOR 1 TOILET 2 VAULTED CEILING 1 WATER HEATER 1 Improvement Inventory Accessory Description Sq Ft Quantity DECK-AVERAGE 400 CONCRETE-PAVING 381 ASPHALT-PAVING 1,878 ROOF EXT. GOOD 60 Land Characteristics Land Description Acres Land Classification Rural Lot 0.34 Ownership Name Type Name Ownership Type Ownership Percentage OWNER KUENZI, KERRY OWNER 100.00% OWNER KUENZI, JODI OWNER 100.00%
Category Name Phone Address COUNTY SERVICES DESCHUTES COUNTY (541) 388-6570 1300 NW WALL ST, BEND, OR 97703 POLICE SERVICES DESCHUTES COUNTY SHERIFF'S OFFICE (541) 693-6911 63333 HIGHWAY 20 WEST, BEND, OR 97703 FIRE DISTRICT REDMOND FIRE AND RESCUE (541) 504-5000 341 NW DOGWOOD AVE, REDMOND, OR 97756
Deschutes County Property Information Report, page 3 (For Report Disclaimer see page 1)

Development Summary

Deschutes

Permit Detail

Building Permit Details

SCHOOL DISTRICT REDMOND SCHOOL DISTRICT (541) 923-5437 145 SE SALMON AVE, REDMOND, OR 97756 ELEMENTARY SCHOOL ATTENDANCE AREA TUMALO COMMUNITY SCHOOL (541) 382-2853 19835 SECOND ST, BEND, OR 97703 MIDDLE SCHOOL ATTENDANCE AREA OBSIDIAN MIDDLE SCHOOL (541) 923-4900 1335 SW OBSIDIAN, REDMOND, OR 97756 HIGH SCHOOL ATTENDANCE AREA RIDGEVIEW HIGH SCHOOL (541) 504-3600 4555 SW ELKHORN AVE, REDMOND, OR 97756 EDUCATION SERVICE TAX DISTRICT HIGH DESERT EDUCATION SERVICE DISTRICT (541) 693-5600 145 SE SALMON AVE, REDMOND, OR 97756 COLLEGE TAX DISTRICT CENTRAL OREGON COMMUNITY COLLEGE (541) 383-7700 2600 NW COLLEGE WAY, BEND, OR 97703 PARK & RECREATION DISTRICT REDMOND AREA PARK & RECREATION DISTRICT (541) 548-7275 465 SW RIMROCK DR, REDMOND, OR 97756 LIBRARY DISTRICT DESCHUTES PUBLIC LIBRARY (541) 617-7050 601 NW WALL ST, BEND, OR 97703 WATER SERVICE PROVIDER OREGON WATER UTILITIES - CLINE BUTTE INC (541) 504-2305 1230 GOLDEN PHEASANT DR, REDMOND, OR 97756 GARBAGE & RECYCLING SERVICE HIGH COUNTRY DISPOSAL (541) 548-4984 1090 NE HEMLOCK AVE, REDMOND, OR 97756
Zone Description EFUSC EXCLUSIVE FARM USE - SISTERS CLOVERDALE SUBZONE DR DESTINATION RESORT COMBINING ZONE SMIA SURFACE MINING IMPACT AREA
Development Details Wetland (National or Local): Conservation Easement: TDC/PRC Restrictive Covenant: FEMA 100 Year Flood Plain: Not Within a Mapped Wetland No Conservation Easement Recorded No TDC/PRC Restrictive Covenant Found Not Within 100 Year Flood Plain Ground Snow Load: 36 #/sq. ft.
County
County
County Permits Permit ID Permit Type Applicant Application Date Status 247-B61786 Building BALL,BRYAN 03/31/2006 Finaled 247-E106734 Electrical US BANK 07/26/2010 Finaled 247-E89229 Electrical BALL,BRYAN 04/21/2006 Finaled 247-E89230 Electrical BALL,BRYAN 04/21/2006 Finaled 247-E89177 Electrical BALL,BRYAN 04/19/2006 Finaled 247-M44314 Mechanical SLAUGHTER,JERRY 07/27/2010 Finaled 247-M35620 Mechanical BALL,BRYAN 04/21/2006 Finaled 247-P29996 Plumbing BALL,BRYAN 04/21/2006 Finaled
Planning Jursidiction: Urban Reserve Area: Urban Growth Boundary: Deschutes County No No 247-B61786 Permit Number: BALL,BRYAN Permit Name: BRYAN BALL CONSTRUCTION INC Contractor: 03/31/2006 Application Date: 04/24/2006 Issue Date: 10/23/2006 Final Date: Finaled Status:
Residential Building Class: New Construction Class of Work: RES/ATTACHED GARAGE Building Use: 4181 Square Feet: 4 Bedrooms: 1 Stories: Y On Sewer: $589,400 Permit Valuation: Inspections Date Init. Comments 10/23/2006 SFJ *FINAL APPROVED*
Deschutes County Property Information Report, page 4 (For Report Disclaimer see page 1)

10/20/2006 SEF 1999 Final Building**FINAL DENIED. MECH CORRECTION NOT DONE

10/16/2006 SEF 1999 Final Building**COMPLETE CORRECTION #1.

10/12/2006 SEF 1999 Final Building**INSPECTION NOTICE: FINAL DENIED- 1) COMPLETE GUARDRAIL AND HANDRAIL AT REAR. 2) COMPLETE ALL EXTERIOR DOOR HARDWARE. 3) PROVIDE INSULATION CERTIFICATE FROM INSTALLER. 4) OPEN UNDERFLOOR ACCESS. REINSPECTION REQ'D

06/30/2006 SEF 1430 Insulation Wall**WALL INSULATION APPROVED

06/23/2006 1905 Reinspection Building**REINSPECT APPROVED

06/22/2006 1260 Framing**FRAMING DENIED. 1)PROVIDE CORRECT TRUSS ENGINEERING AND LAY-OUT. 2)COMPELTE ALL TRUSS BRACING AND STRAPS AS REQJUIRED BY ENGINEERING. 3)FIREBLOCK ABOVE ENTERTAINMENT ROOM F/P.

1530 Exterior Shearwall**SHEARWALLS DENIED. COMPLETE HEADERS AT REAR 05/16/2006 1220 Underfloor framing**UNDERFLOOR APPROVED WITH CORRECTION: 1. ADD SOLID BLOCKING AT POINT LOAD TO FOUNDATION.

Permit Details Service Description: BRANCH CIRCUIT/NEW, ALTER OR EXTEND 1 CIRCUIT-WITHOUT NEW SERVICE

Electrical Permit Details

RED 4230 Circuits/feeders -- Insp Completed : Approved 247-E89229

GARAGE Building Use: 61786 Linked Permit:

Service Description: RESIDENTIAL - SINGLE OR MULTI-FAMILY PER DWELLING UNIT. SERVICE INCLUDED. 1,000 SQ FT OR LESS. RES WIRING EACH ADD. 500 FT OR PORTION

Init. Comments 10/05/2006 SFJ 4230 Circuits/feeders***FINAL APPROVED* 09/29/2006 GTJ 4230 Circuits/feeders**CN 1. GFCI PROTECTION REQUIRED FOR RECEPTACLE WITHIN 6' OF WET BAR SINK, EAST & WEST ALONG WALL 210.8. 2. GFCI PROTECTION REQUIRED FOR ALL RECEPTACLE IN MASTER BEDROOM/BATH-210.8, TUB WITHIN BEDROOM REQUIRES ALL RECEPTACLES TO BE PROTECTED.

06/23/2006 JCM 4500 Rough Electrical**ROUGH SERVICE APPROVED

Electrical Permit Details

247-E89230 Permit Number: BALL,BRYAN

Service Description:

06/13/2006
05/01/2006 1110 Footing**FOOTING/STEMWALL
04/20/2006 DAN GC-- R-3, 4180 SQ.FT. X $133.00= $555,940.00/ U-1, 1128 SQ.FT. X $24.50 = $27,640.00/ R-3N, 434 SQ.FT .X $9.50 = $4,120.00/ R-3N, 70 SQ.FT .X $24.50 = $1,700.00/ TOTAL $589,400.00. 03/31/2006 LJP THIS IS FOR A RES 4181 X 133 = 556073 ATTACHED GARAGE 1128 X 24.50 = 27636 TOTAL 583709 247-E106734 Permit Number: US BANK Permit Name: DELUGE ELECTRICAL CONTRACTING INC Contractor: 07/26/2010 Application Date: 07/26/2010 Issue Date: 01/19/2011 Final Date: Finaled Status: Residential Building Class: New Construction Class of Work: HEAT PUMP CIR Building Use: Linked Permit:
Inspections Date Init. Comments
Permit
Permit Name:
Contractor: 04/21/2006 Application Date: 04/24/2006 Issue Date: 10/05/2006 Final Date: Finaled Status: Residential Building
APPROVED. UFER IN.
Electrical
01/19/2011
Number: BALL,BRYAN
C & G ELECTRIC
Class: New Construction Class of Work: RES/ATTACHED
Inspections Date
Permit Name: OWNER Contractor: 04/21/2006 Application
04/24/2006 Issue Date: 09/29/2006 Final Date: Finaled Status: Residential
Building
Date:
Building Class: New Construction Class of Work: LIMITED
Use: 61786 Linked Permit:
Deschutes
Information Report, page 5 (For Report Disclaimer see
County Property
page 1)

LIMITED ELECTRICAL ENERGY - 1 & 2 FAMILY DWELLING

LIMITED ELECTRICAL/AUDIO & STEREO SYSTEMS

LIMITED ELECTRICAL/BURGLAR ALARM

LIMITED ELECTRICAL/GARAGE DOOR OPENER

LIMITED ELECTRICAL/FIRE ALARM

Inspections

Date Init. Comments

09/29/2006 GTJ 4230 Circuits/feeders***FINAL APPROVED*

06/23/2006 JCM 4550 Limited Energy**ROUGH APPROVED

Electrical Permit Details

Permit Number: BALL,BRYAN

247-E89177

Name: WIRED ELECTRIC

Residential Building Class: New Construction Class of Work: TEMP Building Use: Linked Permit:

Service Description:

TEMPORARY SERVICE - INSTALLATION, ALTERATIONS OR RELOCATIONS

Inspections

Date Init. Comments 04/21/2006 RED *FINAL APPROVED*

Mechanical Permit Details

Permit Number: SLAUGHTER,JERRY

247-M44314

Name: CENTRAL OREGON HEATING & COOLING IN

Residential Building Class: New Construction Class of Work: Building Use: Linked Permit:

Service Description:

ISSUANCE FEE

AIR-HANDLING UNTO TO AND INCLUDING 10,000 CFM INCLUDING DUCTS ATTACHED THERETO

Inspections

No inspection records found.

Mechanical Permit Details

Permit Number: BALL,BRYAN Permit Name: JASON DALE STEARNS Contractor:

247-M35620

Residential Building Class: New Construction Class of Work: Building Use: Linked Permit:

Service Description:

ISSUANCE FEE

VENTILATION FAN CONNECTED TO SINGLE DUCT VENTILATION SYSTEM WHICH IS NOT A PORTION OF ANY HEATING OR AIR-CONDITIONING SYSTEM AUTHORIZED BY A PERMIT INSTALLATION OF HOOD WHICH IS SERVICED BY MECHANICAL EXHAUST, INCLUDING DUCT FOR HOOD APPLIANCE OR PIECE OF EQUIPMENT REGULATED BY CODE BUT NOT CLASSIFIED IN OTHER APPLIANCE CATEGORIES

Inspections

No inspection records found. Deschutes County

Permit
Contractor: 04/19/2006 Application Date: 04/19/2006 Issue Date: 04/21/2006 Final Date: Finaled Status:
Contractor: 07/27/2010 Application Date: 07/29/2010 Issue Date: 01/19/2011 Final Date: Finaled Status:
Permit
04/21/2006 Application Date: 04/24/2006 Issue Date: 10/23/2006 Final Date: Finaled Status:
Property Information Report, page 6 (For Report Disclaimer see page 1)

Permit Number: BALL,BRYAN

247-P29996

Service Description:

10/16/2006

Issue Date: 10/16/2006 Final Date: Finaled Status:

04/21/2006 Application Date: 04/24/2006

10/16/2006 SEF 3999 Final Plumbing**INSPECTION NOTICE: FINAL DENIED. 1) SEAL/ CAULK ALL FIXTURES.

10/16/2006 SEF 3999 Final Plumbing**REINSPECT APPROVED

10/16/2006 SEF 3999 Final Plumbing**TOP OUT DENIED. COMPLETE KIT SINK ROUGH

10/12/2006 SEF 3999 Final Plumbing***FINAL

10/12/2006

SEF 3999 Final Plumbing**APPROVED

SEF 3999 Final Plumbing**INSPECTION NOTICE-WTR/SEWER LINES DENIED: 1. PROVIDE WATER TEST ON WATER LINE. AIR TEST ON PVC PROHIBITED 2. PROVIDE TEST ON SEWER LINE 3. BED ENTIRE LENGTH OF SEWER LINE 4. SEAL STEMWALL AT SEWER LINE. REINSP IS REQ'D

SEF

Final

3999

3999

SEF 3905

SEF 3905

SEF 3905

SEF 3905

3500

3500

APPROVED*

Plumbing**REINSPECT APPROVED

Plumbing**TOP OUT DENIED. COMPLETE KIT SINK ROUGH

Plumbing**UNDERFLOOE, SEWER, WATER APPROVED COMPLETE CONNECTION AT METER

Plumbing***FINAL APPROVED*

Plumbing**INSPECTION NOTICE: FINAL DENIED. 1) SEAL/ CAULK ALL FIXTURES.

Plumbing**REINSPECT APPROVED

Plumbing**TOP OUT DENIED. COMPLETE KIT SINK ROUGH

Plumbing**UNDERFLOOE, SEWER, WATER APPROVED COMPLETE CONNECTION AT METER

(For

Residential
New
Permit Name: BARKER MECHANICAL & PLUMBING INC Contractor: Class of Work: 61786 Linked Permit:
Building Class:
Construction
ONE
Date
Plumbing Permit Details
& TWO FAMILY/4 BATH Inspections
Init. Comments
SEF 3999 Final Plumbing***FINAL APPROVED* 10/16/2006 SEF 3999 Final Plumbing**APPROVED SHOWER PAN 10/16/2006 SEF 3999 Final Plumbing**INSPECTION NOTICE-WTR/SEWER LINES DENIED: 1. PROVIDE WATER TEST ON WATER LINE. AIR TEST ON PVC PROHIBITED 2. PROVIDE TEST ON SEWER LINE 3. BED ENTIRE LENGTH OF SEWER LINE 4. SEAL STEMWALL AT SEWER LINE. REINSP IS REQ'D
10/12/2006
10/12/2006
10/12/2006 SEF
Final
10/12/2006 SEF
Final Plumbing**TOP
10/12/2006 SEF
Final Plumbing**UNDERFLOOE,
COMPLETE CONNECTION
METER 09/29/2006 3925 Consultation Plumbing -- Insp Cancelled : Information Only 08/31/2006 SEF 3650 Shower Pan***FINAL APPROVED* 08/31/2006 SEF 3650 Shower Pan**APPROVED SHOWER PAN 08/31/2006 SEF 3650 Shower Pan**INSPECTION NOTICE-WTR/SEWER
2. PROVIDE TEST ON SEWER LINE 3. BED ENTIRE LENGTH OF SEWER LINE 4. SEAL STEMWALL AT SEWER LINE. REINSP IS REQ'D 08/31/2006 SEF 3650 Shower Pan**INSPECTION NOTICE: FINAL DENIED. 1) SEAL/ CAULK ALL FIXTURES. 08/31/2006 SEF 3650 Shower Pan**REINSPECT APPROVED 08/31/2006 SEF 3650 Shower Pan**TOP OUT DENIED. COMPLETE KIT SINK ROUGH 08/31/2006 SEF 3650 Shower Pan**UNDERFLOOE,
06/23/2006 SEF 3905 Reinspection Plumbing***FINAL
06/23/2006 SEF 3905 Reinspection Plumbing**APPROVED
06/23/2006 SEF 3905 Reinspection Plumbing**INSPECTION
06/23/2006
Reinspection
06/23/2006
Reinspection
06/23/2006
Reinspection
06/23/2006
Reinspection
06/22/2006 3500 Rough
06/22/2006
Rough
06/22/2006
Rough
06/22/2006 3500 Rough
06/22/2006 3500 Rough
06/22/2006 3500 Rough
06/22/2006 3500 Rough
Deschutes County Property Information Report, page 7
Report Disclaimer see
10/16/2006 SEF 3999 Final Plumbing**UNDERFLOOE, SEWER, WATER APPROVED COMPLETE CONNECTION AT METER
APPROVED*
SHOWER PAN
3999
Plumbing**INSPECTION NOTICE: FINAL DENIED. 1) SEAL/ CAULK ALL FIXTURES.
Plumbing**REINSPECT APPROVED
3999
OUT DENIED. COMPLETE KIT SINK ROUGH
SEWER, WATER APPROVED
AT
LINES DENIED: 1. PROVIDE WATER TEST ON WATER LINE. AIR TEST ON PVC PROHIBITED
SEWER, WATER APPROVED COMPLETE CONNECTION AT METER
SHOWER PAN
NOTICE-WTR/SEWER LINES DENIED: 1. PROVIDE WATER TEST ON WATER LINE. AIR TEST ON PVC PROHIBITED 2. PROVIDE TEST ON SEWER LINE 3. BED ENTIRE LENGTH OF SEWER LINE 4. SEAL STEMWALL AT SEWER LINE. REINSP IS REQ'D
Plumbing**INSPECTION NOTICE: FINAL DENIED. 1) SEAL/ CAULK ALL FIXTURES.
Plumbing**APPROVED SHOWER PAN
Plumbing**INSPECTION NOTICE-WTR/SEWER LINES DENIED: 1. PROVIDE WATER TEST ON WATER LINE. AIR TEST ON PVC PROHIBITED 2. PROVIDE TEST ON SEWER LINE 3. BED ENTIRE LENGTH OF SEWER LINE 4. SEAL STEMWALL AT SEWER LINE. REINSP IS REQ'D
page 1)

05/16/2006

3170 Underfloor Plumbing***FINAL APPROVED*

05/16/2006 3170 Underfloor Plumbing**APPROVED SHOWER PAN

05/16/2006

05/16/2006

3170 Underfloor Plumbing**INSPECTION NOTICE-WTR/SEWER LINES DENIED: 1. PROVIDE WATER TEST ON WATER LINE. AIR TEST ON PVC PROHIBITED 2. PROVIDE TEST ON SEWER LINE 3. BED ENTIRE LENGTH OF SEWER LINE 4. SEAL STEMWALL AT SEWER LINE. REINSP IS REQ'D

3170 Underfloor Plumbing**INSPECTION NOTICE: FINAL DENIED. 1) SEAL/ CAULK ALL FIXTURES.

05/16/2006 3170 Underfloor Plumbing**REINSPECT APPROVED

05/16/2006

05/16/2006

05/15/2006

3170 Underfloor Plumbing**TOP OUT DENIED. COMPLETE KIT SINK ROUGH

3170 Underfloor Plumbing**UNDERFLOOE, SEWER, WATER APPROVED COMPLETE CONNECTION AT METER

3201 Sewer Connection***FINAL APPROVED*

05/15/2006 3201 Sewer Connection**APPROVED SHOWER PAN

05/15/2006

05/15/2006

05/15/2006

05/15/2006

05/15/2006

3201 Sewer Connection**INSPECTION NOTICE-WTR/SEWER LINES DENIED: 1. PROVIDE WATER TEST ON WATER LINE. AIR TEST ON PVC PROHIBITED 2. PROVIDE TEST ON SEWER LINE 3. BED ENTIRE LENGTH OF SEWER LINE 4. SEAL STEMWALL AT SEWER LINE. REINSP IS REQ'D

3201 Sewer Connection**INSPECTION NOTICE: FINAL DENIED. 1) SEAL/ CAULK ALL FIXTURES.

3201 Sewer Connection**REINSPECT APPROVED

3201 Sewer Connection**TOP OUT DENIED. COMPLETE KIT SINK ROUGH

3201 Sewer Connection**UNDERFLOOE, SEWER, WATER APPROVED COMPLETE CONNECTION AT METER

Assessor's Office Supplemental Information

Legal Description:

Property Class:

Maintenance Area:

Study Area:

Neighborhood:

Subdivision: RIDGE AT EAGLE CREST 39 Lot: 66 Block:

801 -- RESORT

51
010
2
Deschutes
Information Report, page 8 (For Report Disclaimer see page 1)
County Property

STATEMENT OF TAX ACCOUNT

2022 ADVALOREM $0.00 $0.00 $0.00 $0.00 $10,623.31 Nov 15, 2022 2021 ADVALOREM $0.00 $0.00 $0.00 $0.00 $10,302.50 Nov 15, 2021 2020 ADVALOREM $0.00 $0.00 $0.00 $0.00 $9,803.83 Nov 15, 2020 2019 ADVALOREM $0.00 $0.00 $0.00 $0.00 $9,346.37 Nov 15, 2019 2018 ADVALOREM $0.00 $0.00 $0.00 $0.00 $9,121.78 Nov 15, 2018 2017 ADVALOREM $0.00 $0.00 $0.00 $0.00 $8,918.04 Nov 15, 2017 2016 ADVALOREM $0.00 $0.00 $0.00 $0.00 $8,813.25 Nov 15, 2016 2015 ADVALOREM $0.00 $0.00 $0.00 $0.00 $8,498.37 Nov 15, 2015 2014 ADVALOREM $0.00 $0.00 $0.00 $0.00 $8,135.26 Nov 15, 2014 2013 ADVALOREM $0.00 $0.00 $0.00 $0.00 $7,711.50 Nov 15, 2013 2012 ADVALOREM $0.00 $0.00 $0.00 $0.00 $7,529.63 Nov 15, 2012 2011 ADVALOREM $0.00 $0.00 $0.00 $0.00 $7,505.09 Nov 15, 2011 2010 ADVALOREM $0.00 $0.00 $0.00 $0.00 $7,396.92 Nov 15, 2010 2009 ADVALOREM $0.00 $0.00 $0.00 $0.00 $7,630.69 Nov 15, 2009 2008 ADVALOREM $0.00 $0.00 $0.00 $0.00 $6,695.08 Nov 15, 2008 2007 ADVALOREM $0.00 $0.00 $0.00 $0.00 $6,380.15 Nov 15, 2007 2006 ADVALOREM $0.00 $0.00 $0.00 $0.00 $1,765.28 Nov 15, 2006 2005 ADVALOREM $0.00 $0.00 $0.00 $0.00 $1,758.06 Nov 15, 2005 2004 ADVALOREM $0.00 $0.00 $0.00 $0.00 $15.60 Nov 15, 2004
DESCHUTES COUNTY TAX COLLECTOR DESCHUTES SERVICES BUILDING BEND OR 97703 (541) 388-6540 KUENZI, KERRY & JODI 967 WOODLAND DR NE SILVERTON OR 97381 11-Sep-2023 242895 Tax Account # Account Status Roll Type Situs Address A Real 1144 HIGHLAND VIEW LOOP REDMOND 97756 Tax Summary Tax Year Tax Type Total Due Current Due Interest Due Discount Available Original Due Due Date 2004 Sep 11, 2023 Lender Name Loan Number Property ID Interest To $0.00 $0.00 $0.00 $0.00 Total Deschutes County Property Information Report, page 9 (For Report Disclaimer see page 1)

REAL PROPERTY TAX STATEMENT

JULY 1, 2022 TO JUNE 30, 2023

DESCHUTES COUNTY, OREGON - 1300 NW WALL ST STE 203, BEND, OR 97703

TAX BY DISTRICT

TAX ACCOUNT: 242895

PROPERTY DESCRIPTION

SITUS ADDRESS: MAP: 801

LEGAL:

CODE: 2004 VALUES:

151216-CB-03900

1144 HIGHLAND VIEW LOOP REDMOND

RIDGE AT EAGLE CREST 39 66

(RMV) LAND

Full Payment with 3% Discount

Discount is lost after due date and interest may apply PAYMENT OPTIONS:

* Online

www.deschutes.org/tax

* By Mail to Deschutes County Tax, PO Box 7559 Bend OR 97708-7559

* Drop Box located at 1300 NW Wall Street, Bend or 411 SW 9th Street, Redmond

Please include this coupon with payment. Please do not staple, paper clip or tape your payment.

Please select payment option

Full Payment (3% Discount)

Two-Thirds Payment (2% Discount)

Next Payment Due

One-Third Payment (No Discount)

Next Payment Due

Payment Due November 15, 2022

TAX ACCOUNT: 242895

(Mailing address change form on reverse)

Please make checks payable to Deschutes County Tax Collector

CLASS:
STRUCTURES
TOTAL
VETERAN'S EXEMPTION NET TAXABLE: TOTAL PROPERTY TAX: LAST YEAR THIS YEAR 169,000 940,410 1,109,410 195,000 1,196,570 1,391,570 667,360 0 667,360 10,302.50 687,380 0 687,380 10,623.31 TAX QUESTIONS ASSESSMENT QUESTIONS (541) 388-6540 (541) 388-6508 $10,304.61 No
Due 05/15/23 02/15/23 $3,541.11 $6,940.57 $10,304.61 Change my Mailing Address KUENZI, KERRY & JODI 967 WOODLAND DR NE SILVERTON OR 97381 Deschutes County Tax Collector PO Box 7559 Bend OR 97708-7559 09100002428950000354111000069405700010304614 687,380 667,360 MAXIMUM ASSESSED VALUE
ENCLOSED
KUENZI,
967
SILVERTON
REAL MARKET
TOTAL RMV
ASSESSED VALUE
Additional Payment
AMOUNT
$
KERRY & JODI
WOODLAND DR NE
OR 97381
* In Person 1300 NW Wall Street, Ste 203, Bend (2nd Floor) For Property Information: dial.deschutes.org SCHOOL DISTRICT #2J 3,454.15 C O C C 426.45 HIGH DESERT ESD 66.26 EDUCATION TOTAL: 3,946.86 DESCHUTES COUNTY 837.44 COUNTY LIBRARY 378.06 COUNTYWIDE LAW ENFORCEMENT 721.75 RURAL LAW ENFORCEMENT 982.95 COUNTY EXTENSION/4H 15.40 9-1-1 248.69 REDMOND FIRE & RESCUE 1,205.80 REDMOND FIRE & RESCUE LOCAL OPTION 185.59 REDMOND AREA PARK & REC DISTRICT 255.50 GENERAL GOVT TOTAL: 4,831.18 COUNTY LIBRARY BOND 231.92 SCHOOL #2J BOND 2004 515.67 SCHOOL #2J BOND 2008 884.66 SCHOOL #2J BOND 2021 160.30 C O C C BOND 52.72 BONDS - OTHER TOTAL: 1,845.27 Deschutes County Property Information Report, page 10 (For Report Disclaimer see page 1)
Deschutes County Property Information Report, page 11 (For Report Disclaimer see page 1)
De sc h u te s C o u n ty GIS De sc hu t es Cou nt
P rop er t
I nf orm at i on - Di al
Map and Ta x l ot: 151 21 6C B 03900 Deschutes County Property Information Report, page 12 (For Report Disclaimer see page 1)
y
y
Roa d Map

AerialMap

ParcelID:242895

TaxAccount#:151216CB03900

1144HighlandViewLoop, RedmondOR97756

Thismap/platisbeingfurnishedasanaidinlocatingtheherein describedlandinrelationtoadjoiningstreets,naturalboundariesand otherland,andisnotasurveyofthelanddepictedExcepttotheextent apolicyoftitleinsuranceisexpresslymodifiedbyendorsement,ifany, thecompanydoesnotinsuredimensions,distances,locationof easements,acreageorothermattersshownthereon

AssessorMap

ParcelID:242895

TaxAccount#:151216CB03900

1144HighlandViewLoop, RedmondOR97756

Thismap/platisbeingfurnishedasanaidinlocatingtheherein describedlandinrelationtoadjoiningstreets,naturalboundariesand otherland,andisnotasurveyofthelanddepictedExcepttotheextent apolicyoftitleinsuranceisexpresslymodifiedbyendorsement,ifany, thecompanydoesnotinsuredimensions,distances,locationof easements,acreageorothermattersshownthereon

Covenants, Conditions and Restrictions

Clink the Hyperlink on the next page to view Electronically

CC&R Hard CopiesAvailable upon Request

or Click on hyperlink below to view CC&R’s https://issuu.com/infodeschutestitle/docs/ridge_at_eagle_crest_39_cc_r_s?fr=sYmU5YzYyNzY1NDE

Property Maps

H ig h l a n d V i e w L o o p Aeri al Map 11 44 HIGHLAND VIEW LOOP BEND LA PIN E SISTERS REDMOND SUNR IVER ¬ « 20 ¬ « 97 ¬ 126 ¬ 20 ¬ 20 ¬ « 97 Map Data is deemed reliable but not guaranteed Deschutes County Tit e accepts no respons bility for accuracy 0 50 100 25 Feet
I151216-CB-03900
Redmond UGB Urban Grow th Boundary Map 11 44 HIGHLAND VIEW LOOP BEND LA PIN E SISTERS REDMOND SUNR IVER ¬ « 20 ¬ « 97 ¬ 126 ¬ 20 ¬ 20 ¬ « 97 Map Data is deemed reliable but not guaranteed Deschutes County Tit e accepts no respons bility for accuracy 0 9,250 18,500 4,625 Feet
I151216-CB-03900
Central O rego n Irrigation District Irrigati on D istri ct Map 11 44 HIGHLAND VIEW LOOP BEND LA PIN E SISTERS REDMOND SUNR IVER ¬ « 20 ¬ « 97 ¬ 126 ¬ 20 ¬ 20 ¬ « 97 Map Data is deemed reliable but not guaranteed Deschutes County Tit e accepts no respons bility for accuracy 0 890 1,780 445 Feet
I151216-CB-03900
Redmon d RFP D Station #402 Redmon d RFP D Station #403 St Charles Medical Cen terRedmon d Redmon d RFP D Station #401 Bend RFPD Station #302 Cloverdale RFPD Station #601 Redmon d RFP D Station #404 Redmon d Police Department Deschu tes Count y Sh eriff - Terreb onn e Emergenc y Servic es M ap 11 44 HIGHLAND VIEW LOOP BEND LA PIN E SISTERS REDMOND SUNR IVER ¬ « 20 ¬ « 97 ¬ 126 ¬ 20 ¬ 20 ¬ « 97 Map Data is deemed reliable but not guaranteed Deschutes County Tit e accepts no respons bility for accuracy 0 10,000 20,000 5,000 Feet
I151216-CB-03900
Rai lroad Map 11 44 HIGHLAND VIEW LOOP BEND LA PIN E SISTERS REDMOND SUNR IVER ¬ « 20 ¬ « 97 ¬ 126 ¬ 20 ¬ 20 ¬ « 97 Map Data is deemed reliable but not guaranteed Deschutes County Tit e accepts no respons bility for accuracy 0 8,900 17,800 4,450 Feet
I151216-CB-03900
Unnamed Water Course M ap 11 44 HIGHLAND VIEW LOOP BEND LA PIN E SISTERS REDMOND SUNR IVER ¬ « 20 ¬ « 97 ¬ 126 ¬ 20 ¬ 20 ¬ « 97 Map Data is deemed reliable but not guaranteed Deschutes County Tit e accepts no respons bility for accuracy 0 820 1,640 410 Feet I 151216-CB-03900

Tetherow Crossing

Tetherow Park

Dry Canyon Trail

Cline Falls State Scenic Viewpoint

Redmond-Bend Juniper State Scenic Corridor

Canyon Rim Park

Quince Park Skate Park

Bowlby Park

Kalama Park

Baker Park

Hayden Park

Valleyview Park

Umatilla Sports Complex

The Greens Trail

Cascade Swim Center State Park

Property

Parks M ap 11 44 HIGHLAND VIEW LOOP BEND LA PIN E SISTERS REDMOND SUNR IVER ¬ « 20 ¬ « 97 ¬ 126 ¬ 20 ¬ 20 ¬ « 97 Map Data is deemed reliable but not guaranteed Deschutes County Tit e accepts no respons bility for accuracy 0 7,250 14,500 3,625 Feet
I151216-CB-03900
Missin g Lin k Family Golf Cen ter Eag le Crest Resort Cour se Aspen La kes Golf Co urse Eag le Crest Ridg e Cours e The Gre ens At Redmo nd Juniper Golf Co urse Jack Nicklaus Sign ature Cou rse At Pron gho rn Eag le Crest Challen ge Cours e Pro ng hor n Golf Club Tom F azio Cours e At Pro ng horn Golf Course Map 11 44 HIGHLAND VIEW LOOP BEND LA PIN E SISTERS REDMOND SUNR IVER ¬ « 20 ¬ « 97 ¬ 126 ¬ 20 ¬ 20 ¬ « 97 Map Data is deemed reliable but not guaranteed Deschutes County Tit e accepts no respons bility for accuracy 0 10,000 20,000 5,000 Feet I 151216-CB-03900
Ridg e At Eagle Crest 54 Ridg e At Eag le Crest 39 Ridg e At Eag le Crest 55 Ridg e At Eagle Crest 40 Ridg e At Eagle Crest 56 Ridg e At Eag le Crest 41 Ridg e At Eagle Crest 57 Ridg e At Eag le Crest 50 Subdi vis ions Map 11 44 HIGHLAND VIEW LOOP BEND LA PIN E SISTERS REDMOND SUNR IVER ¬ « 20 ¬ « 97 ¬ 126 ¬ 20 ¬ 20 ¬ « 97 Map Data is deemed reliable but not guaranteed Deschutes County Tit e accepts no respons bility for accuracy 0 270 540 135 Feet I 151216-CB-03900

ZoningMap

ParcelID:242895

TaxAccount#:151216CB03900

1144HighlandViewLoop, RedmondOR97756

Thismap/platisbeingfurnishedasanaidinlocatingtheherein describedlandinrelationtoadjoiningstreets,naturalboundariesand otherland,andisnotasurveyofthelanddepictedExcepttotheextent apolicyoftitleinsuranceisexpresslymodifiedbyendorsement,ifany, thecompanydoesnotinsuredimensions,distances,locationof easements,acreageorothermattersshownthereon

Community Services

Deschutes-Jefferson-Crook County

Emergency

Water Companies Agate Water 541.382.2855 Avion Water 541.382.5342 Cimarron City Water 541.389.7480 City of Bend Water 541.388.5515 City of Redmond Water 541.923.7765 City of La Pine 541.536.1432 City of Prineville 541.447.5627 City of Madras 541.475.2344 Deschutes Valley Water 541.475.3849 Indian Meadow Water 541.719.0137 Laidlaw Water District 541.389.1255 Long Butte Water 541.383.2863 Roats Water 541.382.3029 Sun Country Water 541.382.5103 Sun Mountain Water 541.382.7309 Sunriver Water LLC 541.593.4197 Terrebonne Water 541.548.2727 Water Wonderland 541.593.2902 Irrigation Districts Arnold Irrigation 541.382.7664 Central Oregon Irrigation 541.548.6047 North Unit Irrigation 541.475.3625 Ochoco Irrigation 541.447.6449 Three Sisters Irrigation 541.549.8815 Swalley Irrigation 541.388.0658 Tumalo Irrigation 541.382.3053 Recreation & Entertainment Bend Parks and Rec 541.389.7275 Redmond Area Parks & Rec 541.548.7275 Cascades Theatrical Company 541.389.0803 Deschutes Historical Museum 541.389.1813 Deschutes National Forest Information 541.383.5300 TicketsWest (Ticket Sales) 800.992.8499 High Desert Museum 541.382.4754 Hoodoo Ski Area 541.822.3799 Mt. Bachelor Information 800.829.2442 Mt. Bachelor Ski Report 541.382.7888 Old Mill 16 Cinemas 541.382.6347 Redmond Cinemas 541.548.8777 Tumalo State Park 541.382.3586 La Pine State Park 541.536.2428 Smith Rock State Park 541.516.0054 Newberry Monument Visitor Center 541.383.5300
Police/Sheriff/Fire/Ambulance 911 Report a crime or incident (non emergency) 541.693.6911 Bend Memorial Clinic 541.382.2811 Poison Control Center 800.222.1222 St. Charles Hospital Bend 541.382.4321 St. Charles Hospital-Redmond 541.548.8131 St. Charles Medical Center –Madras 541.475.3882 St .Charles Hospital Prineville 541.447.6263 COMMUNITY
RESOURCE GUIDE
Tri County Public Services Administration-Board of Commissioners 541.388.6570 Assessor 541.388.6508 County Clerk’s Recording Office 541.388.6549 Community Development 541.388.6575 County Landfill 541.317.3163 Fair & Expo Center 541.548.2711 Fish & Wildlife 541.383.7146 Health Department 541.322.7400 Oregon Highway Information 800.977.6368 Human Resources 541.388.6553 Community Dev/Planning Dept 541.388.6560 Road Department 541.388.6581 Rural Fire District #2 - Non-Emergency 541.318.0459 Sheriff - Non-Emergency 541.693.6911 Surveyor 541.388.6581 Tax Office 541.388.6540 County Clerks Election Office 541.388.6546 Oregon Water Resources Water Master 541.306.6885 Utilities OR Utility Notification Center-Call Before You Dig 800.332.2344 Cable and Internet TDS 541.382-5551 Centurylink 855.204.2304 Dish Network 855.754.7027 Direct TV/Satellite 888.777.2454 Sureline Broadband 541.699.0030 Yellow Knife 541.385.0111 Electric Central Electric Co-op 541.389.1980 Mid State Electric 541.536.2126 Pacific Power- Customer Service 800.221.7070 Garbage Cascade Disposal 541.382.6660 Republic Service (Redmond) 541.548.4984 Madras Sanitary 541.475.3382 Republic Services (Prineville) 541.447.5208 Republic Services 541.382.2263 Sun Country Disposal 541.382.6660 Wilderness Garbage 541.536.1194 Gas Amerigas/Northern Energy 541.548.7449 Cascade Natural Gas 888.522.1130 CoEnergy 541.504-9444 Ferrel Gas 541.382.1161 Suburban Propane 800.776.7263 Ed Staub & Sons 541.504.8265 Telephone AT&T 855.392.9752 TDS 541.382-5551 BendTel 541.389.4020 Cascade Telecommunications 541.388.5158 CenturyLink 800.244.1111 Neff Networks 541.323.6866 www.deschutestitle.com
Bend Bend Public Services Bend Airport 541.388.0019 Bend Parks & Recreation 541.389.7275 Building/Planning/Community Dept 541.388.5580 The Bulletin Newspaper 541.382.1811 The Source Weekly 541.383-0800 Cascade Business News 541.388.5665 City Administration 541.388.5505 Chamber of Commerce 541.382.3221 Community Development 541.388.5528 Dept. of Motor Vehicles 541.388.6322 Deschutes Public Library (Downtown) 541.617.7050 Deschutes Public Library (East Bend) 541.330.3760 Dial-A-Ride (Public Transportation) 541.385-8680 Fire Dept. Non-Emergency 541.322.6300 Humane Society 541.382.3537 Juniper Aquatic Center 541.389.7665 Library Main 541.617.7050 Municipal Court 541.388.5572 Planning Department 541.388.5580 Police Dept. - Non-Emergency 541.693.6911 Bend Schools Bend / La Pine Information 541.355.1000 Transportation 541.355.5700 Elementary Schools Amity Creek 541.355.2800 Bear Creek 541.355.1400 Buckingham 541.355.2600 Elk Meadow 541.355.1500 Ensworth 541.355.1600 High Lakes 541.355.1700 Highland At Kenwood 541.355.1900 Juniper 541.355.1800 Lava Ridge 541.355.2400 North Star 541.355.2300 Pine Ridge 541.355.2700 Ponderosa 541.355.4300 R. E. Jewell 541.355.2100 Seven Peaks 541.382.7755 Silver Rail 541.355.2900 Westside Village At Kingston 541.355.2000 William E. Miller 541.355.2500 Middle Schools Cascade 541.355.7000 High Desert 541.355.7200 Pacific Crest 541.355.7800 Pilot Butte 541.355.7400 Realms 541.355.4900 Sky View 541.355.7600 High Schools Bend Senior High 541.355.3700 Caldera High 541.355-5000 Marshall High 541.355.3510 Mountain View High 541.355.4400 Realms High 541.355.5500 Skyline High 541-355-1000 Summit High 541.322.3300 Redmond Redmond Public Services Airport Offices 541.504.3495 Redmond Taxi 541.548.1182 Cascade Swim Center 541.548.6066 Chamber of Commerce 541.923.5191 City Information 541.923.7710 State of Oregon E-Permitting 541.923.7721 Dept. of Motor Vehicles 541.548.0140 Fire Dept. Non-Emergency 541.504.5000 Humane Society 541.923.0882 Police Dept. Non-Emergency 541.388.0170 Post Office 800.275.8777 Redmond Library 541.312.1050 Redmond Airport (Roberts Field) 541.504.3495 Redmond Spokesman Newspaper 541.548.2184 Senior Center 541.548.6325 Redmond Schools Redmond School District/Transportation 541.923.5437 Elementary Schools StepUP at Edwin Brown Education Center 541.923.4868 Hugh Hartman 541.923.8900 John Tuck 541.923.4884 M.A. Lynch 541.923.4876 Sage 541.316.2830 Terrebonne Community School 541.923.4856 Tom McCall 541.526.6400 Tumalo 541.382.2853 Vern Patrick 541.923.4830 Middle Schools Elton Gregory 541.526.6440 Obsidian 541.923.4900 Redmond Proficiency Academy 541.526.0882 High Schools Redmond High 541.923.4800 Redmond Proficiency Academy 541.526.0882 Ridgeview High 541.504.3600 Sisters Sisters Public Services Business Office 541.549.6022 Chamber of Commerce 541.549.0251 Sheriff’s Office Substation 541.549.2302 Post Office 800.275.8777 Police Dept. Non-Emergency 541.692.6911 Sisters Library 541.312.1070 Sisters Schools Sisters Elementary 541.549.8981 Sisters Middle 541.549.2099 Sisters High 541.549.4045 Sunriver and La Pine Sunriver Public Services Chamber of Commerce 541.593.8149 Fire Dept. Non-Emergency 541.593.8622 Police Dept. Non-Emergency 541.593.1014 Sunriver Library 541.312.1080 Sunriver Nature Center 541.593.4394 Sunriver Owner’s Association 541.593.2411 Sunriver Homeowner’s Aquatic & Rec Center 541.585.5000 Sunriver and La Pine (con’t) La Pine Public Services Chamber of Commerce 541.536.9771 Fire Dept. Non-Emergency (Admin/Bus) 541.536.2935 Sheriff - La Pine Station Non Emergency 541.693.6911 La Pine Library 541.312.1090 La Pine and Sunriver Schools La Pine Elementary 541.355.8000 Rosland Elementary 541.355.8100 Three Rivers Element. & Middle School 541.355.3000 La Pine Middle School 541.355.8200 La Pine High School 541.355.8400 Madras Culver– Madras Public Services Chamber of Commerce 541.475.2350 City of Culver 541.546.6494 Fire Dept Non-Emergency 541.475.7274 Humane Society 541.475.6889 Jefferson County Assessors Office 541.388.6508 Jefferson County Clerks Office 541.475.4451 Jefferson County Planning Dept 541.475.4462 Jefferson County Landfill 541.475.1983 Madras Aquatic Center 541.475.4253 Madras City Hall & Police Station 541.475.2344 Madras Library 541.475.3351 Post Office 800.275.8777 Elementary Schools Metolius Elementary 541.546.3104 Madras Primary Elementary 541.475.3520 Madras Elementary 541.475.3520 Middle School Jefferson County Middle School 541.475.7253 High School Madras High 541.475.7265 Prineville Prineville Public Services Chamber of Commerce 541.447.6304 City of Prineville 541.447.5627 Fire Dept. Non-Emergency 541.447.5011 Humane Society 541.447.7178 Crook County Assessors Office 541.447.4133 Crook County Clerks Office 541.447.6553 Crook County Building/Planning Dept. 541.447.3211 Crook County Park & Recreation Dept. 541.447.7546 Crook County Landfill 541.447.2398 Post Office 800.275.8777 Prineville Library 541.447.7978 Sheriffs Office non-emergency 541.447.6398 Elementary Schools Barnes Butte Elementary 541.416.4150 Brothers Elementary 541.903.2819 Crooked River Elementary 541.447.6488 Steins Pillar Elementary 541.416.4230 Powell Butte Community Charter 541.548.1166 Middle Schools Crook County Middle School 541.447.6283 High Schools Crook County High 541.416.6900 Pioneer Secondary Alter High 541.447.1268

Schools Report

SchoolReport SubjectParcel SiteAddress 1144HighlandViewLoop RedmondOR97756 Parcel 242895 SchoolDistrict 2JRedmond AssignedPrimarySchool TumaloCommunitySchool AssignedMiddleSchool ObsidianMiddleSchool AssignedHighSchool RidgeviewHighSchool DeschutesCounty ReportDetail QueryDistanceFromParcel 1miles SchoolsInQuery 3 PrimarySchool TumaloCommunitySchool MiddleSchool ObsidianMiddleSchool HighSchool RidgeviewHighSchool OtherSchool SchoolMap
SchoolDistrict RedmondSD2J DistFromSubject506miles School RidgeviewHighSchool SiteAddress 4555SWElkhornRd City Redmond Zip 97756 Type 1-Regularschool Students 885 Charter No Magnet Title1Elig 2-No Title1 6-NotaTitleIschool Free/Reduced Lunch FTETeachers Count 4133 Student/Teacher Ratio 2141 GradeLevels 9thGrade-12thGrade Male 452 Female 432 Hispanic 228 White 603 Black 6 Am Indian 4 Asian/PacificIsl. 6 School#2 SchoolDistrict RedmondSD2J DistFromSubject630miles School ObsidianMiddleSchool SiteAddress 1335SWObsidianAve City Redmond Zip 97756 Type 1-Regularschool Students 609 Charter No Magnet Title1Elig 2-No Title1 6-NotaTitleIschool Free/Reduced Lunch FTETeachers Count 2988 Student/Teacher Ratio 2038 GradeLevels 6thGrade-8thGrade Male 310 Female 299 Hispanic 152 White 421 Black 3 Am.Indian 2 Asian/PacificIsl 1 School#3 SchoolDistrict RedmondSD2J DistFromSubject804miles School TumaloCommunitySchool SiteAddress 198352ndSt City Bend Zip 97701 Type 1-Regularschool Students 249 Charter No Magnet Title1Elig 2-No Title1 6-NotaTitleIschool Free/Reduced Lunch FTETeachers Count 1600 Student/Teacher Ratio 1556 GradeLevels Kindergarten-5thGrade Male 122 Female 127 Hispanic 25 White 209 Black 0 Am.Indian 1 Asian/PacificIsl. 0
School#1

OREGON AT-A-GLANCE SCHOOL PROFILE

Tumalo Community School

PRINCIPAL: Sam Platt | GRADES: K-5 | 19835 2nd St, Bend 97701 | 541-382-2853

School

REGULAR ATTENDERS

Students who attended more than 90% of their enrolled school days.

2021-22

Academic Progress

INDIVIDUAL STUDENT PROGRESS

Year-to-year progress in English language arts and mathematics.

Academic Success

ENGLISH LANGUAGE

MATHEMATICS

Students meeting state grade-level expectations.

Data not available in 2021-22

SCIENCE

Students meeting state grade-level expectations.

School Goals

· Build strong relationships with students and their families.

· Share expertise. Our staff will support each other’s professional growth.

· Increase student growth and achievement.

· Promote positive mindsets with our staff, students and parents.

· Educate the whole child through rigorous and engaging lessons, K-5 outdoor educational experiences and technology along with social & emotional guidance.

· Continue our focus on the importance of strong attendance rates.

State Goals

The Oregon Department of Education is partnering with school districts and local communities to ensure a 90% ontime, four year graduation rate by 2025. To progress toward this goal, the state will prioritize efforts to improve attendance, provide a well-rounded education, invest in implementing culturally responsive practices, and promote continuous improvement to close opportunity and achievement gaps for historically and currently underserved students.

Safe & Welcoming Environment

It is our priority that all RSD students and families feel safe, welcome and included. Our students are entitled to academic success regardless of background or family circumstances, and each student will be provided the necessary support to ensure success. We are committed to sustaining an inclusive and culturally responsive school culture/climate for all students, families and staff. We ensure safe schools through prevention, intervention, behavioral-emotional health and crisis preparedness.

Students We Serve Student Enrollment 259 DEMOGRAPHICS American Indian/Alaska Native Students <1% Teachers 0% Asian Students 0% Teachers 0% Black/African American Students 0% Teachers 0% Hispanic/Latino Students 10% Teachers 5% Multiracial Students 5% Teachers 0% Native Hawaiian/Pacific Islander Students <1% Teachers 0% White Students 84% Teachers 95% Ever English Learners 6% Languages Spoken 5 Students with Disabilities 10% Required Childhood Vaccinations 87% Free/ Reduced Price Lunch >95% *<10 students or data unavailable
Environment CLASS SIZE Median class size. 21 Oregon average 22
Oregon average
75%
64%
grade-level expectations. 60% Oregon average 44%
ARTS Students meeting state
51% Oregon
36%
average
Oregon
37%
average 31%
School Website: tumalo.redmondschools.org Eligibility for Free/Reduced Price Lunch expanded in 2020-21, for more information please visit:
www.oregon.gov/ode/schools-and-districts/reportcards/reportcards/Pages/Accountability-Measures.aspx

Outcomes

School

REGULAR ATTENDERS

ENGLISH LANGUAGE ARTS

MATHEMATICS

85%

About Our School

BULLYING, HARASSMENT, AND SAFETY POLICIES

EXTRACURRICULAR ACTIVITIES

PARENT ENGAGEMENT

COMMUNITY ENGAGEMENT

No

94% Same principal in the last 3 years

RSD considers the safety of children our greatest priority. Everyone is welcome in school and we recognize the diversity and worth of all. We ensure physically and psychologically safe, secure and orderly learning environments. Elementary schools use the Positive Behavior-Intervention Support system to provide proactive instruction and student need-based tiered supports. Full-time counselors provide whole and small group and individual support for bullying prevention. RSD uses SafeOregon to report unsafe behavior and follows all policies outlined in our Rights & Responsibilities Handbook.

· After School Math Clubs-3rd-5th grade students

· After school music classes and 4th-5th grade Band

· Outdoor School for all 4th-5th grade students (3 day, 2 night)

· Tumalo Outdoor School for all K-5th grade students.

· 3rd-5th grade Battle of the Books (OBOB) participating school.

· Storyline culminations for Kinder-3rd grade students.

· Pre-K Program for 4-year-olds

· Girls on the Run

· Chess Club

· Ropes Course for all 4th-5th grade students

· Field trips at every grade level

In 2021-2022, family engagement activities were mostly virtual as a result of prioritizing health/safety for students, staff and families. In the year ahead we strive to offer a broader range of the family engagement activities we have enjoyed in the past.

· Established Parent-Teacher-Committee (PTC)

· Jogathon

· Monthly Dad’s Breakfasts

· Parent conferences

· Open House for Pre-K - 5th grade students and families

· Storyline Culminations: Kinder-3rd grade

· Kindergarten Literacy Night

· Title IA Parent Activities

· Character Assemblies

· Monthly Newsletters

· Family Fun Night

Our school values partnerships with local businesses and community organizations to improve opportunities for our students.

· Grandparents & Special Friends Day

· Monthly Dad’s Breakfasts

· Alfalfa Community Dinner

· Boots & Bling Auction

· 5th grade Wax Museum

· Guest speakers: US Forest Service, Bend Fire & Rescue, Sisters Rotary, Redmond Park & Rec, High Desert Museum

· Children’s Forest of Central Oregon

OREGON AT-A-GLANCE SCHOOL PROFILE CONTINUED 2021-22 Tumalo Community
Teachers
Educational assistants
Counselors/ Psychologists Average teacher retention rate
% of licensed teachers
Our Staff (rounded FTE) 16
5
2
with more than 3 years of experience
American Indian/Alaska Native <10 students or data unavailable Asian <10 students or data unavailable Black/African American <10 students or data unavailable Hispanic/Latino 78% Multiracial 71% Native Hawaiian/Pacific Islander <10 students or data unavailable White 75% Free/Reduced Price Lunch 75% Ever English Learner 79% Students with Disabilities 70% Migrant <10 students or data unavailable Homeless <10 students or data unavailable Students in Foster Care <10 students or data unavailable Talented and Gifted <10 students or data unavailable Female 72% Male 78% Non-Binary <10 students or data unavailable
<10 students or data unavailable <10 students or data unavailable <10 students or data unavailable 20% <10 students or data unavailable <10 students or data unavailable 66% 60% <10 students or data unavailable 21% <10 students or data unavailable <10 students or data unavailable <10 students or data unavailable <10 students or data unavailable 65% 55% <10 students or data unavailable
<10 students or data unavailable <10 students or data unavailable <10 students or data unavailable 13% <10 students or data unavailable <10 students or data unavailable 56% 51% <10 students or data unavailable 14% <10 students or data unavailable <10 students or data unavailable <10 students or data unavailable <10 students or data unavailable 55% 47% <10 students or data unavailable
Data are suppressed to protect confidential student information. For more information please visit: www.oregon.gov/ode/schools-and-districts/reportcards/reportcards/Pages/Accountability-Measures.aspx

OREGON AT-A-GLANCE SCHOOL PROFILE

2021-22 Obsidian Middle School

PRINCIPAL: Evan Grant | GRADES: 6-8 | 1335 SW Obsidian Ave, Redmond 97756 | 541-923-4900

REGULAR ATTENDERS

Students who attended more than 90% of their enrolled school days.

Academic Progress

INDIVIDUAL STUDENT PROGRESS

Year-to-year progress in English language arts and mathematics.

Academic Success

ENGLISH LANGUAGE

MATHEMATICS

Students meeting state grade-level expectations.

Data not available in 2021-22

SCIENCE

Students meeting state grade-level expectations. 36% Oregon average 28%

School Goals

Obsidian’s goal is to ensure all students commence from our school as high school-ready and life-ready citizens. This is achieved through rigorous instruction using AVID strategies and high-quality pedagogy. AVID stands for Advancement Via Individual Determination. We intentionally grow our middle schoolers’ executive functioning skills, including organization, prioritization, time management, decision making, and motivation. These vital skills span all careers and post-high school learning paths.

State Goals

The Oregon Department of Education is partnering with school districts and local communities to ensure a 90% ontime, four year graduation rate by 2025. To progress toward this goal, the state will prioritize efforts to improve attendance, provide a well-rounded education, invest in implementing culturally responsive practices, and promote continuous improvement to close opportunity and achievement gaps for historically and currently underserved students.

Safe & Welcoming Environment

It is our priority that all RSD students and families feel safe, welcome and included. Our students are entitled to academic success regardless of background or family circumstances, and each student will be provided the necessary support to ensure success. We are committed to sustaining an inclusive and culturally responsive school culture/climate for all students, families and staff. We ensure safe schools through prevention, intervention, behavioral-emotional health and crisis preparedness.

Students We Serve Student Enrollment
DEMOGRAPHICS
Native Students <1% Teachers 0% Asian Students <1% Teachers 0% Black/African American Students 1% Teachers 0% Hispanic/Latino Students 25% Teachers 3% Multiracial Students 5% Teachers 0% Native Hawaiian/Pacific Islander Students <1% Teachers 0% White Students 69% Teachers 97% Ever English Learners 15% Languages Spoken
Lunch
*<10 students or data unavailable
Environment CLASS SIZE Median
size. 27 Oregon average 22
593
American Indian/Alaska
4 Students with Disabilities 13% Required Childhood Vaccinations 95% Free/ Reduced Price
>95%
School
class
56% Oregon average 64%
ARTS
47% Oregon average 44%
Students meeting state grade-level expectations.
25% Oregon average 28%
School Website: oms.redmondschools.org Eligibility for Free/Reduced Price Lunch expanded in 2020-21, for more information please visit: www.oregon.gov/ode/schools-and-districts/reportcards/reportcards/Pages/Accountability-Measures.aspx

Our Staff (rounded FTE)

30

Obsidian Middle School

Outcomes

7

REGULAR ATTENDERS

ENGLISH LANGUAGE ARTS

MATHEMATICS

83%

About Our School

BULLYING, HARASSMENT, AND SAFETY POLICIES

87%

with more than 3 years of experience

No

Same principal in the last 3 years

RSD considers the safety of children our greatest priority. Everyone is welcome in school and we recognize the diversity and worth of all. We ensure physically and psychologically safe, secure and orderly learning environments. Secondary schools provide proactive instruction and student need-based tiered supports. It is our goal to create a respectful and welcoming school culture for students to thrive in. Full-time counselors and deans provide support for bullying prevention. RSD uses SafeOregon to report unsafe behavior and follows all policies outlined in our Rights & Responsibilities Handbook.

EXTRACURRICULAR ACTIVITIES

Obsidian offers a comprehensive music program. Band/Choir students have an opportunity to attend multiple festivals as well as host concerts periodically. Obsidian embraces student passions in regards to student-generated clubs and activities. Our students compete in interscholastic sports throughout the school year. These include volleyball, football, cross country, boys and girls basketball, wrestling, soccer and track. In addition our student leaders serve in a variety of ways outside of the classroom including community, athletic, and social events.

PARENT ENGAGEMENT

Parents and families are the experts when it comes to their children. The role they play in supporting emotional, mental, physical, and academic growth can’t be overstated. We believe that family partnerships are essential to growing lifelong successful learners and citizens. Therefore, OMS hosts a number of family-centered events every year in response to requests from the community. OMS believes in using family voice and feedback to improve the quality of our services. At OMS parents are encouraged to volunteer both during the school day and at evening events.

COMMUNITY ENGAGEMENT

The community that comprises Redmond School District is deeply invested in building a strong economic and social outlook. Therefore, Obsidian seeks opportunities throughout the year to engage with our community. This includes: partnering with local agencies to improve the quality of services to students and families, engaging community organizations in meaningful growthcentered dialogue, industry-focused listening sessions, and inviting dozens of local professionals into the school to speak with students during career day.

OREGON AT-A-GLANCE SCHOOL PROFILE CONTINUED
2021-22
Teachers
Educational assistants
Counselors/ Psychologists Average teacher retention rate
% of licensed teachers
5
American Indian/Alaska Native <10 students or data unavailable Asian <10 students or data unavailable Black/African American <10 students or data unavailable Hispanic/Latino 51% Multiracial 67% Native Hawaiian/Pacific Islander <10 students or data unavailable White 57% Free/Reduced Price Lunch 56% Ever English Learner 59% Students with Disabilities 41% Migrant 57% Homeless 13% Students in Foster Care <10 students or data unavailable Talented and Gifted <10 students or data unavailable Female 58% Male 54% Non-Binary <10 students or data unavailable
<10 students or data unavailable <10 students or data unavailable <10 students or data unavailable 34% 54% <10 students or data unavailable 50% 47% 30% 5% 29% 15% <10 students or data unavailable <10 students or data unavailable 49% 44% <10 students or data unavailable
<10 students or data unavailable <10 students or data unavailable <10 students or data unavailable 13% 26% <10 students or data unavailable 29% 25% 10% 8% 11% <5% <10 students or data unavailable <10 students or data unavailable 22% 28% <10 students or data unavailable
Data are suppressed to protect confidential student information. For more information please visit: www.oregon.gov/ode/schools-and-districts/reportcards/reportcards/Pages/Accountability-Measures.aspx

OREGON AT-A-GLANCE SCHOOL PROFILE

Ridgeview High School

PRINCIPAL: Tony Vicknair | GRADES: 9-12 | 4555 SW Elkhorn Rd, Redmond 97756 | 541-504-3600

REGULAR ATTENDERS

Students who attended more than 90% of their enrolled school days.

2021-22

Academic Progress

ON-TRACK TO GRADUATE

Students earning one-quarter of graduation credits in their 9th grade year.

Academic Success

Students earning a diploma within four years. Cohort includes students who were first-time ninth graders in 2017-18 graduating in 2020-21

FIVE-YEAR COMPLETION

Students earning a high school diploma or GED within five years. Cohort Includes students who were firsttime ninth graders in 2016-17 finishing in 2020-21

COLLEGE GOING

Students enrolling in a two or four year college within 16 months of completing high school in 201920. Data from the National Student Clearinghouse.

School Goals

Ridgeview High School’s purpose statement reads “Our purpose is to prepare every student to be College-Ready, Career-Ready and Life-Ready by closing the Opportunity, Expectation and Belief gaps.”

92% Oregon average 88%

State Goals

The Oregon Department of Education is partnering with school districts and local communities to ensure a 90% ontime, four year graduation rate by 2025. To progress toward this goal, the state will prioritize efforts to improve attendance, provide a well-rounded education, invest in implementing culturally responsive practices, and promote continuous improvement to close opportunity and achievement gaps for historically and currently underserved students.

49% Oregon average 56%

Safe & Welcoming Environment

It is our priority that all RSD students and families feel safe, welcome and included. Our students are entitled to academic success regardless of background or family circumstances, and each student will be provided the necessary support to ensure success. We are committed to sustaining an inclusive and culturally responsive school culture/climate for all students, families and staff. We ensure safe schools through prevention, intervention, behavioral-emotional health and crisis preparedness.

Students We Serve Student Enrollment 819 DEMOGRAPHICS American Indian/Alaska Native Students <1% Teachers 0% Asian Students 1% Teachers 0% Black/African American Students 1% Teachers 0% Hispanic/Latino Students 25% Teachers 8% Multiracial Students 3% Teachers 0% Native Hawaiian/Pacific Islander Students <1% Teachers 0% White Students 69% Teachers 92% Ever English Learners 17% Languages Spoken 7 Students with Disabilities 12% Required Childhood Vaccinations 92% Free/ Reduced Price Lunch >95% *<10 students or data unavailable
Environment CLASS SIZE Median
classes in core subjects. 23 Oregon average 22
School
size of
54% Oregon average 64%
78% Oregon average 83%
GRADUATION
ON-TIME
83% Oregon average 81%
School Website: rvhs.redmondschools.org Eligibility for Free/Reduced Price Lunch expanded in 2020-21, for more information please visit: www.oregon.gov/ode/schools-and-districts/reportcards/reportcards/Pages/Accountability-Measures.aspx

Our Staff (rounded FTE)

41

Ridgeview High School

REGULAR ATTENDERS

ON-TRACK TO GRADUATE

2021-22

ON-TIME GRADUATION

Coming in 2022-23

About Our School

ADVANCED COURSEWORK

Ridgeview High School currently offers the following Advanced Placement courses:

AP Language and Composition

AP Literature and Composition

AP United States History

AP Government

AP Calculus

AP Biology

AP Computer Science

Additionally, Ridgeview High School has articulation agreements with Southern Oregon University and several community colleges to offer dual credit to students in advanced coursework.

CAREER & TECHNICAL EDUCATION

Ridgeview High School currently has approved CTE programs in the following areas:

Engineering Technology Culinary

Early Childhood Education

Business Management

TV Production Health Services

EXTRACURRICULAR ACTIVITIES

Ridgeview High School offers a variety of co-curricular and extracurricular opportunities for students:

Athletics:

Fall - Cheerleading, Cross Country, Football, Soccer, and Volleyball

Winter - Cheerleading, Basketball, Swimming, and Wrestling

Spring - Baseball, Golf, Softball, Tennis, Track

Co-Curricular:

FBLA

Choir Band

Drama/Theater

Student Activities and Clubs:

ASB & Student Leadership

Lacrosse

Water Polo

Nordic Skiing

Equestrian

Many more....

PARENT & COMMUNITY ENGAGEMENT

Ridgeview High School partners with parents by hosting a variety of events and engagement opportunities. Our school also values partnerships with local businesses and community organizations to improve opportunities for our students. See our school website for a calendar of parent engagement events.

OREGON AT-A-GLANCE SCHOOL PROFILE CONTINUED
Teachers
Educational assistants
Counselors/ Psychologists Average teacher retention rate
% of licensed teachers
6
5
86%
with more than 3 years of experience
73% Same principal in the last 3 years
Yes Outcomes
American Indian/Alaska Native <10 students or data unavailable Asian <10 students or data unavailable Black/African American <10 students or data unavailable Hispanic/Latino 43% Multiracial 74% Native Hawaiian/Pacific Islander <10 students or data unavailable White 57% Free/Reduced Price Lunch 54% Ever English Learner 47% Students with Disabilities 43% Migrant 29% Homeless 46% Students in Foster Care <10 students or data unavailable Talented and Gifted 72% Female 51% Male 57% Non-Binary <10 students or data unavailable
<10 students or data unavailable <10 students or data unavailable <10 students or data unavailable 68% <10 students or data unavailable <10 students or data unavailable 81% 78% 67% 45% <10 students or data unavailable <10 students or data unavailable <10 students or data unavailable <10 students or data unavailable 85% 72% <10 students or data unavailable
<10 students or data unavailable <10 students or data unavailable <10 students or data unavailable 71% 73% <10 students or data unavailable 87% 86% 65% 63% 64% 58% <10 students or data unavailable <10 students or data unavailable 86% 82%
Data are suppressed to protect confidential student information. For more information please visit: www.oregon.gov/ode/schools-and-districts/reportcards/reportcards/Pages/Accountability-Measures.aspx

Places to Go & Things to Do

District at 388-5435.

Development Department of the Park & Recreation

trail concerns please call the Park Services and

& Recreation District. For questions or to report

River Trail are managed by the Bend Metro Park

The Bend Urban Trail System and the Deschutes

administered by the Bend Visitors and Convention Bureau.

www.bendparksandrec.org. Funding for this map provided by a City of Bend grant

Foundation to help build the river trail. For more information, see

DESCHUTES RIVER TRAILS SYSTEM

WELCOME TO THE DESCHUTES RIVER TRAIL!

or donating time or money to the Bend Park and Recreation

Bend Metro Park and Recreation District Adopt a Trail Program

Consider helping to maintain a section of trail through the

ADOPT A TRAIL PROGRAM

 No camping, smoking or fi res.

 Do not litter. If you pack it in, please pack it out.

disposal bags and trash cans.

removed. Dog “rest stops” along the trails provide you with

 Dogs must be on leash at all times and their waste properly

observe pedestrian-only trail sections.

 Bicyclists are not allowed on all sections of the trails. Please

 No motorized vehicles are allowed on the trails.

 Stay on the trail. Please don’t trespass on private property.

safe and pleasant for all users:

P ea s e o o w t h es e s m p e g u d e n es t o k e e p t h e t ai e x p e e n c e

TRAIL USE REGULATIONS

The Deschutes River Trail portion of the Bend Urban Trails System allows nearly uninterrupted access to the beautiful waterway that is the heart of the community. The trail system is divided into fi ve “reaches,” defined by landscape characteristics.

The Bend Park and Recreation District is at work building a fully connected river trail between Tumalo State Park and Meadow Camp. Once complete, the trail system will encompass nineteen miles of trails. This map shows existing trails open to the public.

AWBREY REACH

Visitors can access the River Trail at its northernmost point at Kirkaldy Court off of Putnam Rd. This section of the trail, constructed on top of the buried Tumalo irrigation canal, consists of soft-surface and unimproved surfaces, and includes a few moderate hills. Along the middle stretch of this reach, the river drops into a deep canyon but the trail stays high on the canyon wall, offering spectacular views of the river below and the Three Sisters in the distance. A steep climb up the Archie Briggs Canyon Trail connects to Mt. Washington Dr.

RIVER

RUN REACH

This section, favored by many locals, is also built over the Tumalo canal and was the first section of river trail to open in 1989. The surface is both soft-surface and unimproved, and is wide and relatively flat. The trail runs between the river and a high canyon wall, and passes through the River’s Edge golf course and adjacent neighborhoods. There are several wetlands in this reach, inhabited by songbirds, trumpeter swans, otter and beaver. Osprey frequently nest and fish here.

PIONEER REACH

This reach passes through the oldest and most established sections of Bend. The trail isn’t always right on the river, but instead follows sidewalks through neighborhoods and downtown. It passes through beautiful Drake Park on Mirror Pond and ends in McKay Park. There are several footbridges along the way offering opportunities to cross the river.

OLD MILL REACH

Once the site of two large ponderosa pine lumber mills, today the Old Mill Reach is a mix of river parks, the Shops at the Old Mill, and areas yet to be developed. Three footbridges connect trail legs on either side of the river, providing convenient walking loops. On the east side, the trails are hard surface from the Old Mill District to the Bill Healy bridge. The trail on the west side offers a mix of hard and soft surfaces. Farewell Bend Park provides two developed boat landings for paddlers using the Deschutes River water trail. The east side trail passes through Farewell Bend Park, which also provides two developed boat landings for paddlers using the Deschutes River water trail.

SOUTH CANYON REACH

This reach has trail legs on both sides of the river, connected by a new footbridge approximately 1 1/2 miles upstream of the Farewell Bend Park bridge. The river flows fast here through a beautiful canyon, cascading over rocks and logs.

West side: This reach’s west-side leg is known as the Mt. Bachelor Village Trail. Here the soft surface trail is open to pedestrians, but cyclists are not allowed. An alternative cycling route connects from the Bill Healy Bridge to the Haul Road Trail along Century Drive.

East side: The east-side trail at the northern end of this reach is unimproved surface, narrow and rocky in places; the southern end is on the gravel ditch road which runs above the river and next to the COID siphon pipe. There are several connections to nearby neighborhoods along the way.

DESCHUTES RIVER FLOWS SOUTH TO NORTH

Discover natural landscapes, wildlife, and scenic byways. Discover exceptional places to exercise, play, relax, or commute. Discover the Bend Urban Trails System.

POINTS OF INTEREST ALONG THE DESCHUTES RIVER TRAIL

 Included in the Oregon Cascade Birding Trail system, Sawyer Park offers the opportunity to spot a variety of birds.

 The historic Radamacher House and Plaza overlook Mirror Pond and Drake Park, with the Three Sisters visible in the background. This site includes a sign interpreting Bend’s founding.

 Located across the foot bridge from Drake Park, Pageant Park was named in commemoration of the Bend Water Pageant, a favorite community event that ran from 1933-1965. An interpretive sign describes the event highlight, the launch of large lighted floats on Mirror Pond.

 The Drake Park interpretive sign (located directly in front of the public restrooms) describes Bend’s early sense of community spirit.

 McKay Park is the site of the Oregon Trunk Railroad interpretive sign, which describes Bend’s early railroad history.

 Across the river from Farewell Bend Park is the new Riverbend Park, acquired in 2004 as community park space. The first phase of park development is planned for fall of 2005.

 Farewell Bend Park, Bend’s newest community river park, honors the history of the logging industry at this site with two interpretive signs. Two additional signs explain a riparian restoration project and other steps being made to care for the health of our river and its ecosystem. The park includes a playground and restrooms.

 The boardwalk here offers a view of Central Oregon Irrigation District’s Hydro site, where irrigation water is dropped back to the river through two turbines, generating electrical power. The public has access to this trail section thanks to an agreement with COID—please stay on the designated trail.

 Mt. Bachelor Village Resort, in partnership with Brooks Resources and the High Desert Museum, has provided a series of informative signs along this section of trail which describe the native habitat, foliage, and other points of interest.

 At this point along the trail, visitors can see the COID irrigation diversion which At this po nt the rai , vis tors can see the COID rr gat on diversion wh ch sends river water into the canal system to support agricultural and power production needs. Fish are directed back to the river by an elaborate fish screen. Danger: This area is not open to the public.

� � � � � �������� ������� ��������� ������� � � � � � � � � � � � � � � � � � � � � �� � � � �� ����� � ���� ���� ������ � �� �� � �� � � � � � � � � � � � � O District Downtown Bend To USFS Deschutes River Trai s ��� ������ ������� ������ ����� ��� ������ �� ������ � �� � � � � �� � � � � ��� ������� �� ������� � �� �������� ��� � �� ����� � � � ����� ��� � ������ � �� � � � �� �� � ��� � � � �
BEND URBAN TRAILS MAP ©2005 FOR FUN, FOR FRIENDS, FOR HEALTH, FOR LIFE! ™
MAP LEGEND �������������� �������� ��������� �������������� ����� ����� ������������������ ������������������ ������� ������������� ���������������� ����������� ������������������� ���������� � ������� � �������� �������� ���������� � � ������������� ����������� �������� ����������� ������������ ������������ ���� ���������� ������  ������������ AWBREY REACH RIVER RUN REACH PIONEER REACH OLD MILL REACH SOUTH CANYON REACH
Photo: Bob Woodward

Food Trucks/Carts

https://www.visitbend.com/food-drink/restaurants/food-carts/

https://www.google.com/search?q=food+carts+near+me&rlz=1C1GCEU_enUS874US875&oq=food+ca rts+&aqs=chrome.2.69i57j0i512j0i457i512j0i402j46i175i199i512l2j0i512l4.9132j0j15&sourceid=chrom e&ie=UTF-8

https://www.menupix.com/oregon/cn/158/370037/Food-Trucks-Prineville

https://www.google.com/search?q=food+trucks+in+sisters+oregon&rlz=1C1GCEU_enUS874US875&ei =nMxVYpS4Ns2dkPIPufeDoAg&oq=food+trucks+in+Sisters&gs_lcp=Cgdnd3Mtd2l6EAEYADIFCAAQgAQ yBQgAEIYDMgUIABCGAzoLCC4QgAQQxwEQrwE6BggAEBYQHkoECEEYAEoECEYYAFAAWPcKYNAiaABw AXgAgAHRAYgBugmSAQUwLjYuMZgBAKABAcABAQ&sclient=gws-wiz

https://www.google.com/search?q=food+trucks+in+madras&rlz=1C1GCEU_enUS874US875&ei=nMxV YpS4Ns2dkPIPufeDoAg&ved=0ahUKEwiU9pOLm4_3AhXNDkQIHbn7AIQQ4dUDCA8&uact=5&oq=food +trucks+in+madras&gs_lcp=Cgdnd3Mtd2l6EAMyBggAEBYQHjIFCAAQhgMyBQgAEIYDOgcIABBHELADO goIABBHELADEMkDOggIABCABBDJAzoFCAAQkgM6BQgAEIAEOgsILhCABBDHARCvAUoECEEYAEoECEYY AFDeEliMGmDVHGgBcAF4AIABrQGIAZoHkgEDMC42mAEAoAEByAEHwAEB&sclient=gws-wiz

https://www.google.com/search?q=food+trucks+in+culver+oregon&rlz=1C1GCEU_enUS874US875&ei =bM1VYqjDC_bTkPIP_Zuj2AY&ved=0ahUKEwioqYDum4_3AhX2KUQIHf3NCGsQ4dUDCA8&uact=5&oq =food+trucks+in+culver+oregon&gs_lcp=Cgdnd3Mtd2l6EAMyBQghEKsCOgoIABBHELADEMkDOgcIABB HELADOgYIABAWEB46BQgAEIYDOgUIIRCgAUoECEEYAEoECEYYAFD2BljNDmCFEGgBcAF4AIABswGIAcQ JkgEDMC43mAEAoAEByAEEwAEB&sclient=gws-wiz

https://pdx.eater.com/maps/best-restaurants-bend-oregon-guide

Central Oregon Healthy Food

https://www.visitbend.com/food-drink/restaurants/vegan-vegetarian-gluten-free/

https://www.google.com/search?q=healthy+eats+in+central+oregon&rlz=1C1GCEU_enUS874US875& ei=Vs5VYo6xJp_TkPIPjIqV4AI&ved=0ahUKEwiOtOXdnI_3AhWfKUQIHQxFBSwQ4dUDCA8&uact=5&oq =healthy+eats+in+central+oregon&gs_lcp=Cgdnd3Mtd2l6EAM6BggAEAcQHjoICAAQBxAFEB46BQgAEI YDSgQIQRgASgQIRhgAUABYjyhg6D5oAnABeAGAAe8DiAHND5IBCjIuMTAuMS4wLjGYAQCgAQHAAQE &sclient=gws-wiz

Kid Friendly Attractions

https://forgetsomeday.com/things-to-do-in-bend-oregon-with-kids/

https://www.cascadiakids.com/things-do-kids-bend-oregon/

https://oldmilldistrict.com/things-to-do-with-kids/

https://www.visitbend.com/things-to-do/activities/kid-family-friendly-activities/

Farmers Markets in Central Oregon

https://visitcentraloregon.com/dining/food/farmers-market/

https://www.localharvest.org/prineville-or/farmers-markets

https://hdffa.org/its-farmers-market-season/

https://redmondoregonfarmersmarket.com/

https://www.sistersfarmersmarket.com/

https://www.localharvest.org/redmond-or/farmers-markets

https://www.madrassaturdaymarket.com/

Central Oregon Breweries

https://www.visitbend.com/food-drink/restaurants/brewery-pub/

https://www.google.com/search?q=breweries+in+central+oregon&rlz=1C1GCEU_enUS874US875&oq =&aqs=chrome.0.69i59i450l8.68566434j0j15&sourceid=chrome&ie=UTF-8

https://visitcentraloregon.com/dining/drinks/breweries/redmond/

https://beermebend.com/bend-oregon-brewery-locations/

https://www.google.com/search?q=prineville+breweries&rlz=1C1CHBD_enUS1025US1025&oq=prine ville+breweries&aqs=chrome..69i57j0i22i30j0i390i650.4688j0j7&sourceid=chrome&ie=UTF-8

https://www.google.com/search?q=breweries+in+madras+oregon&rlz=1C1CHBD_enUS1025US1025& oq=breweries+in+madras+oregon&aqs=chrome..69i57.6398j0j4&sourceid=chrome&ie=UTF-8

Private Schools in Central Oregon

https://www.niche.com/k12/search/best-private-schools/c/deschutes-county-or/

https://movingtobend.com/relocation-blog/2021/a-guide-to-public-and-private-schools-in-bendoregon/

https://www.countyoffice.org/bend-or-private-schools/

Central Oregon Winter Activities

https://www.visitbend.com/things-to-do/activities/winter-fun/

https://visitcentraloregon.com/things-to-do/activities/winter/

https://www.google.com/search?q=winter+activities+central+oregon&rlz=1C1CHBD_enUS1025US102 5&oq=winter+activities+central+oregon&aqs=chrome..69i57j0i22i30l2j0i390i650l3j69i60l2.14288j0j4 &sourceid=chrome&ie=UTF-8

Central Oregon Trivia and Bingo Nights

https://www.riversplacebend.com/games

https://beermebend.com/bend-oregon-brewery-locations/

https://www.bendsource.com/bend/bingo-with-bren-supporting-saving-grace/Event?oid=16320982

https://www.visitbend.com/food-drink/astro-lounge/

https://theyardfoodpark.com/events/

https://www.silvermoonbrewing.com/events

https://www.bendsource.com/bend/tuesday-night-trivia-in-redmond/Event?oid=18829261

Calendar of Events for Central Oregon

https://visitcentraloregon.com/calendar-of-events

https://www.bendsource.com/bend/EventSearch?v=g#grid

https://www.visitbend.com/event-calendar/

Economic Development For Central Oregon

ECONOMIC DEVELOPMENT FOR CENTRAL OREGON EDCOINFO.COM #EDCOINFO @EDCOINFO 705 SW BONNETT WAY SUITE 1000 BEND, OR 97702 541.388.3236 2022 CENTRAL OREGON ECONOMIC PROFILE

Table of Contents

Welcome to Central Oregon

Where the commute times are short and breathtaking views await you at every turn. The region features dramatic snow-capped mountain ranges and high desert plateaus within Deschutes, Crook and Jefferson counties.

Located halfway between San Francisco and Seattle, one of the hottest small metropolitan markets in the U.S. is Central Oregon. In the last decade the region has seen some of the highest sustained GDP growth, job growth and population growth. With these factors in mind, The Milken Institute has named the region the best small metropolitan in the nation four years in a row – an unprecedented feat no other location has ever received.

Central Oregon is pulling extraordinary talent and capital, fostering a diverse and highly entrepreneurial business ecosystem. Deschutes County received the most investment in Oregon in 2022, according to Smartasset. Lured by natural scenic beauty and big city amenities without big city costs or hassle, people are learning that having a true work-life balance is possible. Employees are happier and companies are more innovative and capital-efficient. All in a region dominated by small to mid-sized firms that compete globally – and win.

Welcome........................................................................................................ Central Oregon Overview................................................................................ Population..................................................................................................... Move.............................................................................................................. Relocate / Expand.......................................................................................... Start................................................................................................................ Entrepreneurial Support................................................................................. Grow............................................................................................................... Workforce...................................................................................................... Delivering What Is Expected......................................................................... Transportation............................................................................................... Services / Infrastructure................................................................................ Top Employers............................................................................................... Foundations of Central Oregon’s Economy................................................... Lifestyle......................................................................................................... About EDCO................................................................................................... 2 3 4 6 7 8 9 10 11 12 13 14 15 16 20 21 Page 2 - Economic Development for Central Oregon

CENTRAL OREGON OVERVIEW

Regional Population: 253,761

(2021 estimates from Portland State University)

Regional Labor Force: 123,953

(Seasonally adjusted total for 2021 from Oregon Employment Department)

Bend-Redmond MSA GDP Per Capita: $54,390

(2020 estimate from the Bureau of Economic Analysis)

*Bureau of Economic Analysis data is only available for the Bend-Redmond MSA

Access to and from our region has never been easier with five national carriers flying up to 54 segments daily to nine international airports. Central Oregon is served by one of the most vibrant and successful regional airports in the country at Redmond (RDM).

edcoinfo.com - Page 3

Central Oregon has been among the fastest growing regions anywhere in the U.S.

In-migration has been the dominating factor in the region’s growth. With millions of visitors annually, Central Oregon continues to attract thousands of new residents from all over the country each year for it’s outdoor amenities, arts and culture opportunities, quality healthcare, and a growing education system.

“Central Oregon’s economic growth is stronger than the state and nation overall. The primary reason is the high quality of life that attracts new residents. Faster population growth means local businesses can hire and expand at a faster rate due to the influx of working-age migrants and the growing labor force.”

Oregon Jefferson County 11.4% 14.6% 85.2% 63.7% Area POPULATION CHANGES FOR CENTRAL OREGON Percent Change 2010 - 2021 Net Migration % 2010 - 2021 Counties Deschutes County 28.9% 89.0% Crook County 21.5% 81.1% Source: Population Research Center, PSU 2021. Oregon Employment Department, 2021. Page 4 - Economic Development for Central Oregon
POPULATION

NEW RESIDENTS, NEW IDEAS & NEW ENERGY

#1 TOP 10 COOLEST PLACES TO GO IN THE NEXT 10 YEARS

With over 4.5 million visitors flocking to Central Oregon each year, it proves a great introduction to our region’s culture, lifestyle and a great first impression for businesses. Central Oregon and the Bend-Redmond MSA continually top the nation in population growth. In fact, Bend has been among the 15 fastest growing cities in the U.S. five of the last six years. While our population grows, so does our workforce. We’re cultivating a community that has consciously decided to live here and attracting new talent pools to serve the increasing demand for labor.

POPULATION TOTALS FOR CENTRAL OREGON

- FORBES , 2021 Oregon 3,837,300 4,237,256 3,421,399 4,013,845 4,266,620 Area 2010 2020 2000 2015 2021 Crook County 21,020 23,440 19,184 21,085 25,482 Deschutes County 157,905 197,015 115,367 170,740 203,390 Bend 76,740 92,840 52,029 81,310 100,922 La Pine 1,660 2,005 1,670 2,654 Redmond 26,225 32,215 13,481 27,050 36,122 Sisters 2,040 3,220 959 2,280 3,286 Unincorporated 51,240 66,735 48,898 53,151 60,406 Jefferson County 21,750 24,105 19,009 22,445 24,889 Tri-County Total Source: Population Research Center, PSU. 2000 & 2010 Census numbers are for April 1 of that year; 2015-2021 data are for July 1 of that year. 200,675 244,560 153,560 214,270 253,761 Not incorporated
11.4% % Growth 2010-2021 21.5% 28.9% 24.1% 27.4% 38.0% 15.3% 14.6% 20.9% 37.7% edcoinfo.com - Page 5

MOVE

Business Cost Comparison

Oregon offers more incentive programs to traded-sector* businesses than Washington or California. Even without taking those incentives into consideration, Oregon is still a more cost-effective choice for doing business. Contact EDCO for a detailed look at the business costs in Central Oregon.

*companies that sell their products or services outside the area, bringing new jobs and capital investment to the area

“While our move to Central Oregon may have started for personal reasons, it has allowed us to do more with our business than we thought possible. It has allowed us to hire amazing employees – the available talent here in Central Oregon has proven to be of the highest caliber and chocked full of integrity. Sometimes you feel like you can get lost in a big city. In Sisters we have been able to be part of a growing and nurturing business community.” - Wyatt Woods, President and Owner, Holy Kakow

Case Study: Holy Kakow

Founded in Portland in 2009, Holy Kakow creates premium organic chocolate sauces and syrups that are used in coffee shops across the nation and globe. After running the business for nearly a decade, Founder Wyatt Woods decided a move to the City of Sisters would be beneficial for his family. The next step was to figure out how to move the successful business. After EDCO’s help with site selection, incentives, permitting, and more, Holy Kakow was able to move their operations into a new building in the Sisters Business Park. The relocation allowed them to scale for growth, even during the pandemic, expanding their employment from three to eight in the span of a couple months. Holy Kakow have their sights set on new product launches. With the backing of the community and the growing number of craft food businesses in Sisters, the company is surrounded by a strong business ecosystem to help them succeed.

6.16¢ Avg. Electricity Rate (¢/kWh) None State & Local Sales Tax Rate $4.73 Avg. Natural Gas Rate ($/kcf) #22 State Business Tax Climate Index OR 15.14¢ 7.25%+ $9.74 #48 CA 5.81¢ 6.5%+ $7.72 #15 WA
We guide employers outside the region through the relocation process as a resource for regional data, incentives, talent, site selection, and A-Z problem solving.
Page 6 - Economic Development for Central Oregon
Sources: Tax Foundation 2022, US Energy Information Association (Natural Gas) 2021, US Energy Information Association (Electricity) 2021

RELOCATE & EXPAND

Get connected to our growing industry clusters that include: craft brewing/distilling, bioscience, outdoor products, technology, aerospace, and advanced manufacturing.

We link you to tools to help your company including: connections to the local supply chain, talent acquisition, incentives, business finance, market intelligence, and more.

WHY CENTRAL OREGON?

Central Oregon offers a pro-business environment with several incentives and supportive business finance options to encourage economic growth. Oregon also allows corporate net operating losses to be carried forward for up to 15 years without a cap, which can meaningfully reduce your business’s tax liability.

We help you navigate the regional and local real estate market, infrastructure and permitting processes.

For businesses looking to relocate, Central Oregon has a reputation for welcoming new companies. The region offers a tightknit community without sacrificing talent, education opportunities, or quality healthcare. EDCO’s network can help your business streamline decisions when choosing a new home.

edcoinfo.com - Page 7

We mentor and advise scalable young companies from concept to exit on issues such as access to capital, critical expertise and business strategy.

“The support we’ve received from EDCO and other organizations has been tremendous and allowed us to grow and develop our network and further develop our business in a short time. Their proactive approach to assisting and encouraging entrepreneurship in this region has been paramount to some of the large strides we’ve taken this year.”

Case Study: SherpTek

SherpTek was among the first tenants to take occupancy in the redeveloped Woodgrain mill site, re-branded the “Prineville Campus,” where they design and manufacture modular truck bed systems and accessories to improve the functionality and adaptability of pickup trucks for day-to-day use and outdoor adventures.

SherpTek is an innovator in the automotive/outdoor industry. Their Founder and Lead Design Engineer, Ryan Goodwin, uses composite aerospace materials and construction methods to create a lightweight, yet super durable, precision-engineered product. SherpTek was one of Prineville’s first companies to pitch at EDCO’s Central Oregon PubTalk, an event that showcases local entrpreneurs. The company has been and continues to be supported by EDCO as well as many local and State partners in areas such as business financing, incentive utilization, internship coordination, staffing, network connections, scalability, and pitch coaching. Despite having just moved their start-up to Prineville earlier this year, SherpTek has ingrained itself into the entrepreneurial fabric of the region. They are already expanding their manufacturing facilities, hiring additional employees and training local high school students on their specialized processes.

* EDIT TITLE
START
Page 8 - Economic Development for Central Oregon

A driving force for our economic performance is a collaborative and inclusive entrepreneurial community. This is supported via the number of new business registrations, which has outpaced far larger cities. In 2022, AdvisorSmith ranked Bend fifth for Top Midsize Cities where Americans Start the Most Businesses at 3.79 businesses started per 1,000 residents.

The region is large enough to provide resources and access to capital that help new entrepreneurs get started, while still being small enough that those resources are interconnected to support businesses as they grow. Unique to Central Oregon, given its size, are the numerous community resources and assets that are available. Assets managed by EDCO include monthly Central Oregon PubTalks, the Stable of Experts mentorship program and the largest Angel Conference in the PNW, the Bend Venture Conference.

BEST SMALL CITIES FOR STARTING A BUSINESS

Source: WalletHub, April 2022.

Both Redmond and Bend made WalletHub’s Top 30 list for best cities to start a business at #16 and #17 respectively, based on an index of criteria that included business environment, access to resources and business costs. They were the only two Oregon cities to make it in the top 350 of 1,334 small cities ranked in the index.

ENTREPRENEURIAL SUPPORT St. George, UT Bend, OR 359 1 2 3 16 17 4 1 8 5 3 54 Area
Access to Resources Rank National Rank Business Environment Rank Washington, UT 3 Bozeman, MT 18
OR 127
Redmond,
edcoinfo.com - Page 9

GROW

“Our flagship manufacturing facility is located in Bend, nestled at the base of the Cascade Mountain Range, which also inspired the brand name. The views and outdoor amenities are unmatched, but the entrepreneurial and community support we have received from day one has been the driving factor in bringing our homegrown business sustainable success in Oregon and beyond. Our employees, customers and partners are what make Bend home and inspire continued growth.”

Case Study: Broken Top Brands

Broken Top Brands creates handmade, sustainable, eco-conscious candles and body products that have been featured in National media outlets such as BuzzFeed, Oprah Daily and HuffPost. Started in 2015 out of Founder Affton Coffelt’s kitchen in Bend as Broken Top Candle Co., the company has now blossomed to 19 employees and recently moved into an 18,000 SF manufacturing facility.

Broken Top Brands is currently selling an array of all natural, biodegadble and paraben-free lifestyle products in the USA, as well as Canada and parts of Europe. The brand’s market is primarily wholesale with an organically growing e-commerce presence. Customers can find their products in over 2,800 retail locations nationally and internationally, with Whole Foods being their largest account.

Broken Top Brands was attracted to starting a business in Central Oregon for its quality of life and supportive community. Due to it’s unique company culture and location, the business has had success retaining employees which has enabled its continued expansion. Although supply chain timelines and transportation costs have been challenges through the pandemic, Broken Top Brands has sustained steady growth and continues to partner with EDCO, 1% for the Planet, One Tree Planted, Opportunity Knocks, Bend Chamber, and Business Oregon to serve their loyal customer base.

We partner with local traded-sector companies to help them grow and expand, offering them the very same incentives and assistance as relocation projects.
Page 10 - Economic Development for Central Oregon

#5 FOR 5-YEAR JOB GROWTH IN THE U.S.

Private sector employment grew by 47% in Central Oregon over the last 10 years, which is significantly faster than the statewide growth of around 20%. Employment in the private sector is projected to grow by 12% across the region between 2019 and 2029.

Workforce Development

Improving the Readiness and Employability of Central Oregon’s Future Workforce

Now in its fourth year, Youth CareerConnect (YCC) continues to connect employers and students with real work experience throughout Central Oregon. By supporting internships and experiential learning opportunities in the community, YCC has made it simpler for schools and employers to connect while fostering a work-ready labor force for years to come.

YCC Internship Coordinators host office hours at schools across the region to help students with professional goal setting, resume writing, interview skills, and internship placement for high school, college and alternative education students. Since its inception in 2017, YCC has built a rolodex of over 360 business partners and placed more than 493 students in meaningful internships. Personalization for both the business and the student is at the core of what YCC does, and why it continues to thrive. To get involved with Youth CareerConnect, visit: youthcareerconnect.org

WORKFORCE
- Damon Runberg, Oregon Employment Department
Source: State of Oregon Employment Department, 2021 Oregon 14.3% U.S. MANUFACTURING EMPLOYMENT GROWTH (2010-2021) 7.1% Deschutes County 60.6% Redmond 75.3% edcoinfo.com - Page 11

DESCHUTES COUNTY #1 COUNTY RECEIVING THE MOST INCOMING INVESTMENT IN OREGON

-SMARTASSET, 2022

“Central Oregon enjoys a truly collaborative environment. Everyone is not only supportive of each other, but excited to see one another grow. We share the same trails, rivers and slopes and ultimately share a similar vision to help the region succeed.”

The combination of a collaborative culture, a supportive attitude among government and economic development partners, plus a location that attracts talent and investment all help Central Oregon compete nationally.

- Scott Allan , Former CEO and GM, Hydro Flask
Rank County New Building Permits (per 1,000 homes) Business Growth Federal Funding (per capita) GDP Growth (millions) Incoming Investment Index 1 3 5 2 4 6 Deschutes 26.4 Marion 13.8 Washington 13.4 Crook 21.8 Linn 15.8 Jefferson 9.8 Oregon Totals 7.8 11.3% $211 6.8% $920 4.1% $340 7.8% $225 4.8% $103 8.9% $192 3.4% $265 $317 56.94 $354 43.91 $660 42.09 $23 49.48 $111 42.77 $17 41.99 $1,480 Source: SmartAsset, 2022 INCOMING INVESTMENT BY COUNTY IN OREGON DELIVERING WHAT IS EXPECTED Page 12 - Economic Development for Central Oregon

TRANSPORTATION

Redmond Municipal Airport (RDM; www.flyrdm.com ) provides commercial air service with an average of 27 daily outbound flights to Burbank, Denver, Los Angeles, Palm Springs, Phoenix, Salt Lake City, San Diego, San Francisco, and Seattle via five carriers (Alaska, American, Avelo, Delta, and United).

Average Commute Times

SanFranciscoLosAngeles

The Central Oregon average commute time is 24 minutes each way, saving the average worker nearly one work week per year !

Source: Census.gov 2021

Travel Time & Distance by Car

RAIL FREIGHT

Burlington Northern-Santa Fe (BNSF), Union Pacific (UPRR) and the City of Prineville Railway (COPR) provide direct connections for shipping to any market in the United States, Canada and Mexico.

Travel Time By Air

U.S. Highways 97 and 20 are two of the State’s major trucking routes, with access to major metro areas with connections to Interstate 5 (N-S) and Interstate 84 (E-W).

PHOENIX, AZ

2 hour, 30 minutes

PALM SPRINGS, CA

Coming November 2022

SAN DIEGO, CA

2 hours, 40 minutes

30 min 33.3 min 31.9 min 27.7 min 26.2 min 16.6 min 25.7 min
20 min 10 min 0 min
OR 164 miles
hours, 13 minutes
WA 269 miles 4 hours, 44 minutes
LAKE CITY, UT 1 hour, 30 minutes
WA 329 miles 5 hours, 46 minutes BURBANK, CA 1 hour, 30 minutes
CO
hours, 24 minutes
ANGELES, CA 820 miles 12 hours, 38 minutes BEND, OR REDMOND,
RDM
OR 173 miles 3 hours, 15 minutes
WA
hour, 10 minutes
316 miles 5 hours, 12 minutes
FRANCISCO, CA 1 hour, 10 minutes
FRANCISCO,
491 miles
hours,
PORTLAND,
3
OLYMPIA,
SALT
SEATTLE,
DENVER,
2
LOS
OR
MEDFORD,
SEATTLE,
1
BOISE, ID
SAN
LOS ANGELES, CA 2 hours SAN
CA
7
55 minutes
Seattle Portland Denver Bend
AIR
edcoinfo.com - Page 13

UTILITIES

Most of our region has been newly built in the past two decades, making Central Oregon’s telecommunications infrastructure one of the Northwest’s most technologically advanced. Businesses and telecommuters benefit from reliable fast data speeds and upload times.

EDUCATION

Central Oregon is well-recognized for its high level of education, with some of the best K-12 public schools in the nation. In 2021, the Bend-La Pine school district’s average SAT scores surpassed the national average by over 180 points. Additionally, our higher education opportunities abound. From Oregon State University-Cascades’ ongoing expansion, to Central Oregon Community College’s four campuses in the region, there are opportunities for all to obtain a quality education.

HEALTHCARE

St. Charles Health System is the largest healthcare provider in the region, and is also the largest employer with over 4,500 employees across the tri-county area. The hospital received HealthGrade’s 2021 Pulmonary Care Excellence Award™ and offers a network of more than 100 clinics and specialty practices throughout the community.

& INFRASTRUCTURE
SERVICES
Page 14 - Economic Development for Central Oregon

TOP EMPLOYERS

According to the Oregon Employment Department, 76% of Oregon establishments have between one and nine covered payroll employees and the average private establishment employs around 11 people.

Still, a number of large employers operate successfully here, tapping into Central Oregon’s ever-expanding workforce, the overall low cost of doing business and business-friendly local governments. This year, the top 50 private companies collectively employ nearly 21,000 Central Oregonians, or roughly 21.9% of the region’s current total employment.

2021 Central
Private by Employment Trade, Transportation, & Utilities Education & Health Services Leisure & Hospitality Professional & Business Services Mining, Logging & Construction Manufacturing Financial Activities Other Services Information 7% 4% 2%
Oregon Industry Composition
- Oregon Employment Department , 2011-2021
CENTRAL OREGON RANKED #1 IN THE STATE FOR JOB GROWTH AT 29.7%
1 9 17 5 13 21 7 15 23 31 27 35 T-24 T-33 T-29 37 42 45 T-46 2022 1 7 T-13 5 12 T-23 8 15 T-23 36 T-17 T-38 28 T-38 T-31 37 NL 47 46 2021 4,509 605 336 894 375 249 640 350 238 206 225 199 235 200 220 176 159 153 150 2022 St. Charles Health System regional 2022 Central Oregon Largest 50 Private Employers Employees Rank McDonald’s regional PacificSource Mt. Bachelor Black Butte Ranch Opportunity Foundation Fred Meyer regional Meta - Facebook Data Center NeighborImpact regional Endura Products Eagle Crest - Aimbridge Hospitality Keith Manufacturing Co. 10 Barrel Brewing Co. Touchmark at Mt. Bachelor Village Tetherow First Interstate Bank regional Hayden Homes Rebound Physical Therapy regional Dutchie 4,626 682 365 860 375 259 669 350 259 200 300 195 230 195 220 198 122 149 150 2021 2 10 18 6 14 22 8 16 T-24 32 28 36 T-39 41 44 T-46 50 26 T-33 T-29 38 T-39 43 T-46 49 2 10 20 6 T-13 19 9 T-23 22 21 35 48 NL 42 41 T-43 T-50 29 40 33 45 30 T-31 T-17 T-43 1,030 440 296 714 365 245 628 340 235 204 221 190 165 164 154 150 142 226 200 220 171 165 157 150 149 Bright Wood Corporation regional Lonza, formerly Bend Research High Lakes Health Care regional Safeway regional ibex Consumer Cellular Summit Medical Group regional BASX Pronghorn Resort Bi-Mart regional Epic Air Indian Head Gaming Albertsons regional Nosler J Bar J Youth Services Deschutes Brewery Laird Superfood NL = Not Listed | T = Tied PCC Schlosser Sunriver Brewing Company The Center (Ortho/Neuro Care) Western Heavy Haul & SMAF G5 Riverhouse on the Deschutes BendBroadband/TDS Telecom Ray’s Food Place regional 1,093 438 279 751 365 294 607 259 270 272 210 145 201 173 174 162 132 224 190 216 155 221 220 300 162 3 11 19 3 16 26 1,000 415 280 Sunriver Resort Rosendin Electric Inc. Brasada Ranch 1,000 317 250 4 12 20 4 11 27 916 391 267 Les Schwab regional Mosaic Medical regional Medline ReNewal 890 378 246 21% 19% 16% 13% 10% 9% Source: State of Oregon Employment Department, 2021 edcoinfo.com - Page 15

FOUNDATIONS OF CENTRAL OREGON’S ECONOMY

ADVANCED MANUFACTURING AVIATION & AEROSPACE

• More than 100 businesses in advanced manufacturing make their own products here in Central Oregon, as well as provide a critical role in the supply chain for other OEM in aviation/aerospace, brewing & distilling, specialty food processing, and automotive.

• Additive and subtractive machining of metals and plastics, advanced welding and metal fabrication, specialty metals casting, production printing and publishing, as well as specialized machinery and equipment continue to advance locally.

• The largest employers in this industry group include Precision Cast Parts (PCC) Schlosser, Keith Manufacturing and BasX Solutions.

• The production of light aircraft in Central Oregon spans back more than 30 years and over that time, 25 aircraft have moved through the process of conceptual design to flight.

• Composite (carbon fiber) fabrication and innovation aircraft are the region’s specialty offering a cluster of world-class talent and capabilities here.

• Some of the most successful flight training programs in the country are located in the region with both fixed-wing and helicopter flight schools that serve the global industry, including Leading Edge, Hillsboro Aero Academy and Central Oregon Community College.

Page 16 - Economic Development for Central Oregon

BIOSCIENCE

• Producing everything from titanium implants to cutting edge drug research, our bioscience industry has been experiencing year-over-year double digit employment growth for nearly a decade.

• Quietly, Central Oregon’s bioscience industry has proven capable of attracting world class scientific and technical talent that has made companies here competitive on a global scale.

• Swiss-based pharmaceutical research and manufacturer Lonza is the largest bioscience company in the region, and among the largest in Oregon, with two campuses and additional operations scattered across the region.

BREWING & DISTILLING

• Central Oregon is home to breweries both large and small, with Deschutes Brewery’s production placing it in the top 10 largest craft breweries in the U.S.

• For Oregon, which has 312 craft breweries, nearly one-third of the largest 30 brewers by volume, are located in Central Oregon – testimony to the quality of product produced here.

• The region is also home to a dozen craft cideries and distilleries, two of which, Bendistillery and AVID Cider, are the second largest in the state in their respective sectors.

#3 LEADING HOP PRODUCTION STATE

#2 BEST CITIES FOR BEER DRINKERS

-STATISTA, 2020
-SMARTASSET, 2022 FOUNDATIONS OF CENTRAL OREGON’S ECONOMY edcoinfo.com - Page 17

FOUNDATIONS OF CENTRAL OREGON’S ECONOMY

BUILDING PRODUCTS

• After 100+ years and considerable systemic change across the industry, the building products sector is still Central Oregon’s largest traded-sector employer.

• Businesses in this sector compete and win on a global scale, innovating and automating as global leaders in their respective sub-industries, including wood doors and windows, mouldings, cabinetry, furniture, and musical instruments.

• The region’s largest manufacturer and second largest private employer, Brightwood Corporation, is based in Madras, with operations in Redmond, Culver and Prineville. The company has been growing in Central Oregon for over a half century.

OUTDOOR GEAR & APPAREL

• Central Oregon is home to a diverse group of businesses in a variety of subsectors, including rock climbing, water sports, hydration, hiking, backpacking, recreational vehicles, road and mountain biking, outerwear, and software.

• The region is home to the Oregon Outdoor Alliance (OOA) and Oregon’s Office of Outdoor Recreation, both of which are dedicated to connecting and cultivating the industry.

• Bend Outdoor Worx is the country’s first dedicated startup accelerator for the industry and offers investment, exposure and access to vetted resources for outdoor innovators.

#5 GREAT CITIES IN THE U.S. FOR OUTDOOR ADVENTURES

Page 18 - Economic Development for Central Oregon
- WASHINGTON POST, 2022

FOUNDATIONS OF CENTRAL OREGON’S ECONOMY

PROFESSIONAL SERVICES

• Professional services are incrasingly being exported out of the tri-county region including engineering, architecture, accounting, HR, recruitment, creative services, advertising, and publishing to name a few

• The creative, marketing and advertising sub-sectors of this industry are particularly strong in Central Oregon with firms being attracted to the region from as far away as Barcelona, Spain.

TECHNOLOGY

• Including software companies, electronics manufacturers, alternative energy and data centers, the region has over 130 tech companies employing nearly 3,000 people.

• Five dozen software companies call the region home, more often than not locating their headquarter operations here.

• Prineville is a growing data center hub and is home to Meta’s first and largest data center campus, a 4.5 million square foot complex. Central Oregon offers a unique advantage for data centers due to its available infrastructure, affordable industrial land, multiple telecom carriers, desert climate, and globally competitive tax incentives.

#3

FOR 5-YEAR HIGH TECH GDP GROWTH -MILKEN INSTITUTE, 2022

edcoinfo.com - Page 19

Located on the eastern slopes of the Cascade Range, where vast forests give way to the arid high desert, Central Oregon boasts year-round adventure and a rare mix of city amenities and world-famous outdoor recreation. The region offers the slower speed of a small town with access to toprated healthcare and infrastructure to support continued economic growth.

#10

#10 BEST PERFORMING SMALL CITIES & #1 FOUR YEARS IN A ROW

#2 MOST FITNESS FRIENDLY PLACE IN THE U.S.

30+ Golf Courses

Miles and Miles of Trails

Flourishing Arts & Culture Scene

#4 BEST MOUNTAIN TOWNS IN AMERICA

31 Breweries & Counting

300 Days of Sunshine

LIFESTYLE
-MILKEN INSTITUTE, 2022
BEST
BUSINESS -U.S. CHAMBER OF COMMERCE, 2022
LIVE IN
-MONEY, 2019 & LIVABILITY, 2020
SMALL CITIES FOR
TOP 100 BEST PLACES TO
AMERICA
-THRILLIST,
M T. BACHELOR
-AFAR, 2020
2021
AMONG BEST SKI AREAS IN THE U.S.
-SMARTASSET, 2022
Page 20 - Economic Development for Central Oregon

ABOUT EDCO

Founded in 1981, EDCO is a non-profit corporation supported by private and public members and stakeholders. Our mission is to create a balanced and diversified economy with a strong base of middle-class jobs in Central Oregon.

To do this, we focus on helping companies do the following:

MOVE. We guide employers outside the region through the relocation process as a resource for regional data, incentives, talent, site selection, and more.

START. We mentor and advise scalable young companies from concept to exit on issues such as access to capital, critical expertise and business strategy.

GROW. We partner with local traded-sector companies to help them grow and expand.

Central

Central

City

City

City of Prineville

City of Redmond

City of Sisters

Crook County

Deschutes County

First Interstate Bank

Jefferson County

Mid Oregon Credit Union

OSU-Cascades

Pacific Power

PacificSource Health Plans

Schwabe, Williamson & Wyatt

Sensiba San Filippo

U.S. Bank

Additional information available at EDCOINFO.COM

• Upcoming networking events, luncheons, conferences, and more

• EDCO Info Hub: current comprehensive data for Central Oregon

• Stable of Experts: a network of seasoned professionals with a passion for start-ups and small businesses

• Success stories from regional businesses

• Business news on EDCO’s blog

Fiscal Year Companies Jobs (New & Retained) New Capital Investment 2020 - 2021 2018 - 2019 2016 - 2017 2019 - 2020 2017 - 2018 2021 - 2022 Totals 34 40 48 36 31 13 202 451 587 735 774 288 483 3,318 $208.7 million $70.5 million $2.1 billion $67.1 million $199.7 million $1.98 billion $4.63 billion
BendTel
Natural Gas
AmeriTitle
Cascade
Electric Cooperative
Community
Oregon
College
of Bend
of La Pine
City of Madras
Combined Communications
St. Charles Health System
Members EDCO Contact Information Regional Office (Bend) CEO: Jon Stark Director: Don Myll 705 SW Bonnett Way Ste. #1000 Bend, OR 97702 541.388.3236 Redmond Director: Steve Curley 411 SW 9th Street Ste. #203 Redmond, OR 97756 541.923.5223 Prineville/Crook County Director: Kelsey Lucas PO Box 153 Prineville, OR 97754 541.213.3169 Sisters Director: Eric Strobel 520 E Cascade Street Sisters, OR 97759 541.410.8630 Sunriver/La Pine Director: Patricia Lucas 16345 Sixth Street La Pine, OR 97739 248.693.3049 Public Contracts EDCO’S Funding Sources Private Members Earned Revenue Other 36% 30% 21% 16% EDCO’S RESULTS edcoinfo.com - Page 21
Velox Systems EDCO Platinum
EDCOINFO.COM #EDCOINFO @EDCOINFO 705 SW BONNETT WAY SUITE 1000 BEND, OR 97702 541.388.3236

Turn static files into dynamic content formats.

Create a flipbook
Issuu converts static files into: digital portfolios, online yearbooks, online catalogs, digital photo albums and more. Sign up and create your flipbook.