Hoje Macau 17 NOVEMBRO 2022 #5133

Page 1

hojemacau Atraccão fatela

Convencer turistas a visitar Macau continua a não ser tarefa fácil. Pereira Coutinho tentou ontem persuadir o Chefe do Executivo a pôr em prática a política de quarentena “3+3”, em substituição da actual “5+3”, mas Ho Iat Seng não aceitou o conselho e diz que nem mesmo assim seria possível atrair mais turistas. Quer, no entanto, que durante o Grande Prémio cheguem à RAEM mais de 25 mil visitantes diários.

DIRECTOR CARLOS MORAIS JOSÉ MOP$10 QUINTA-FEIRA 17 DE NOVEMBRO DE 2022 • ANO XXI • Nº5135 www.hojemacau.com.mo
facebook/hojemacau • twitter/hojemacau POESIA SEM FRONTEIRAS NUNO JÚDICE TRADUZIDO POR YAO JINGMING EVENTOS
´
REINALDO RODRIGUES/GLOBAL IMAGENS SOFIA MARGARIDA MOTA GP MACAU CORRIDA DE OBSTÁCULOS PÁGINA 6 VOZES BEAT: MAIS DO QUE UM DIZER CHINA | UCRÂNIA É PRECISO TER CALMA FRONTEIRA O PASSE DO DIA ANTÓNIO CABRITA PÁGINAS 10-11 PÁGINA 7 OS RETRATOS DE ZENG JING Paulo Maia e Carmo
GRANDE PLANO

TURISMO

QUARENTENA “3+3” NÃO CHEGA PARA ATRAIR VISITANTES

Nem assim vamos lá

O Chefe do Executivo admitiu que a fórmula de quarentena “3+3”, sugerida pelo deputado José Pereira Coutinho, não será suficiente para atrair mais turistas para Macau. Com a chegada de uma nova edição do Grande Prémio, Ho Iat Seng quer elevar a fasquia das entradas para mais de 25 mil turistas

JOSÉ Pereira Couti nho sugeriu a adop ção de uma quaren tena de “3+3”, ou seja, três dias num hotel e três de auto -gestão de saúde, em vez dos actuais “5+3”. No entanto, o Chefe do Executivo, Ho Iat Seng, admitiu que nem assim será possível atrair mais turistas para Macau, embora essa seja uma grande vontade das autoridades.

“Vamos persistir na polí tica de zero casos covid, mas talvez não seja possível atrair mais turistas, mesmo com a política 3+3”, disse ontem o governante na Assembleia

Legislativa. Na sua inter venção, o deputado pediu ao Governo para “implementar com urgência medidas con cretas de alívio das regras da pandemia (3+3), destinadas à recuperação económica, principalmente na indústria do jogo, e em prol da atracção de mais turistas e investimen tos estrangeiros”.

Mesmo com este cenário, persistem os diálogos com as autoridades chinesas para que o território possa receber mais visitantes. Ho Iat Seng disse ser necessária maior “flexibilidade” para atrair visitantes de outros locais da província de Guangdong

além dos habituais. “Nunca pensei que em Outubro Guangdong tivesse proble mas [devido à ocorrência de surtos pandémicos], bem

como outros locais mais próximos. Caso não haja problemas vamos requerer luz verde [do Governo Cen tral] para admitir excursões de três províncias e uma cidade. Muito rapidamente vamos receber informações do Ministério do Turismo da China sobre a vinda dos turistas”, prometeu.

O Chefe do Executivo referiu-se ainda às com panhias aéreas, para dizer que “estão preparadas para a chegada de mais turistas, pois isso é um grande apoio ao mercado do sector do retalho. Com a retoma dos vistos electrónicos será me

lhor [para a recuperação do sector]”, acrescentou.

Falando das percentagens do volume de negócios este ano, que na área das vendas por grosso e retalho foi de 85 a 90 por cento, por exemplo, o governante reconheceu que os dados se devem, em grande parte, “ao consumo interno dos residentes”.

GP é oportunidade

Ho Iat Seng não deixou de fazer um apelo aos sectores ligados ao turismo, para que vejam “os locais de Guangdong que não têm pro blemas [com a pandemia] e desenvolvam os respectivos

Oferta privada Executivo quer legislar sobre fundos

O Chefe do Executivo, Ho Iat Seng, disse ontem em resposta ao deputado Wong Sai Man que pretende legislar sobre fundos de oferta privada para o desenvolvimento de novas indústrias em cooperação com a área de investigação no ensino superior. “Em termos de financiamento temos de lançar fundos de ofertas privada, pois sem eles é difícil desenvolver parcerias entre

universidades e empresas. O financia mento é um dos pontos fracos de Macau e, por isso, queremos atrair esses fundos aproveitando a experiência das indústrias mais tradicionais. Este é um sector novo e, muitas vezes, os bancos não emprestam o dinheiro, por isso é necessário legislar sobre os fundos de oferta privada e é preciso legislar sobre isso.”

Tribunais Mais despesas com fotocópias e agrafadores

É certo que a nova lei relativa ao envio de peças processuais e pagamento de custas por meios electrónicos permitiu o envio de mais de 300 processos judiciais por via digital dos escritórios de advogados para os tribunais, mas Ho Iat Seng assume que os custos aumentaram com a im pressão dos mesmos. “Os tribunais

tiveram de adquirir mais máquinas fotocopiadoras e agrafadores, os custos aumentaram, embora a eficiência seja maior. Espero que no futuro não sejam necessárias mais fotocópias”, disse. A nova plataforma permitiu ainda fazer pagamentos electrónicos no valor total de 2,8 milhões de patacas. O deputado Iau

Teng Pio aproveitou o debate de ontem para colocar questões sobre as infra-estruturas dos tribunais e alguns problemas evidenciados em alguns discursos proferidos na cerimónia de abertura do Ano Judiciário de 2023, mas o Chefe do Executivo limitou-se a falar dos projectos de construção já planeados e em curso.

2 grande plano 17.11.2022 quinta-feira www.hojemacau.com.mo LINHAS DE ACÇÃO GOVERNATIVA 2023
“Vamos persistir na política de zero casos covid, mas talvez não seja possível atrair mais turistas, mesmo com a política 3+3.”
HO IAT SENG CHEFE DO EXECUTIVO
“Nunca pensei que em Outubro Guangdong tivesse problemas, bem como outros locais mais próximos. Caso não haja problemas vamos requerer luz verde para admitir excursões de três províncias e uma cidade.”
HO IAT SENG CHEFE DO EXECUTIVO

trabalhos [de divulgação turística]”.

Uma vez que uma nova edição do Grande Prémio de Macau está prestes a come çar, o Chefe do Executivo deposita esperanças no au mento diário do número de turistas. “Temos de pensar em como dinamizar o turis mo. Diariamente recebemos menos de 25 mil turistas e queremos recolher mais dados para convencer as excursões e as agências que organizam excursões para que haja mais visitantes no Grande Prémio, que começa no próximo fim-de-semana.”

IMOBILIÁRIO SEM MARGEM DE MANOBRA EM CASOS DE BURLAS NO

HÁvários anos que são divulgados casos de re sidentes de Macau burlados por adquirirem imóveis no Interior da China que não correspondem à realidade. Questionado ontem sobre esta questão, pela deputada Ella Lei, Ho Iat Seng afirmou que pouco pode fazer para resolver esses problemas.

“Tenho recebido várias queixas, mas posso apenas

INTERIOR

resolver os problemas se gundo a lei. Como Chefe do Executivo não posso resolver os problemas que não são de Macau.”

Ainda assim, Ho Iat Seng assegurou que o Con selho dos Consumidores “vai reforçar a fiscalização e a divulgação das infor mações sobre a venda de casas no Interior da China”. “Caso haja irregularidades

vamos proceder a uma análise”, adiantou.

O governante não dei xou de dar umas sugestões a quem adquire casas em construção. “Espero que a população, quando compra esses imóveis, tenha cuida do, dirigindo-se ao local. O barato sai caro e temos de ter cuidado na compra de imóveis porque isso poderá trazer muitos problemas.

SUICÍDIOS RECUPERAÇÃO ECONÓMICA RESOLVE

EXORTADO

por Kou

Kam Fai a comentar o crescente número de casos de suicídio no território, Ho Iat Seng admitiu que a situação é de facto grave mas que poderá haver uma redução com a recuperação gradual da economia.

“Sei que a economia prejudicou muito a vida das pessoas e penso que com uma recuperação gradual será possível diminuir os casos de suicídio. Este ano

ocorreram de facto muitos casos de suicídio, o rácio su biu bastante. Nos primeiros nove meses do ano houve 65 casos, sendo que 59 são de residentes, sendo um au mento de 71 por cento face ao período homólogo do ano passado. São várias as razões para isso acontecer.

Um dos casos diz respeito a um jovem e isso é uma dor profunda para a RAEM.”

Quanto a medidas para solucionar o problema, o

Chefe do Executivo disse que têm sido feitos contactos com associações locais a fim de se criar redes comunitá rias de apoio, tendo sido da dos subsídios para a criação de programas de formação e abertura de linhas de apoio. “Apelo a quem cuidem das suas vidas. Já entramos em contacto com diferentes associações de diferentes níveis e instituições para que seja prestado o devido apoio”, rematou.

JOGO PARTICIPAÇÃO DE OPERADORAS NO CONCURSO REVELA “CONFIANÇA”

OS deputados voltaram ontem a colocar ques tões sobre a crise económica e os problemas financeiros sentidos pelas operadoras de jogo. Mas o Chefe do Executivo, à semelhança do que disse esta terça-feira aos jornalistas, voltou a garantir que as concessionárias de jogo vão sobreviver à crise. Mais: a participação no concurso público para a atribuição de novas licenças é um bom sinal.

“Disse que a indústria do jogo está moribunda, mas penso que as concessionárias têm ainda muitas possibilida des de sobrevivência”, disse em resposta a uma questão colocada pelo deputado José Pereira Coutinho. “As

Terrenos Governo sem planos para novos leilões

O Chefe do Executivo afastou ontem a possibilidade de vir a realizar um novo leilão de terrenos além daquele que já foi anunciado. Recorde-se que o Governo anunciou um leilão de quatro terrenos em hasta pública, a realizar brevemente. “Vamos lançar quatro lotes de terrenos e não temos um plano de um novo leilão a médio e longo prazo. Há 20 anos

que não fazemos um leilão de terrenos e temos de atender às mudanças do mercado. Em qualquer território não pode haver um plano de longo prazo para leilões de terrenos, pois tem de haver uma ligação ao desenvolvimento do mercado.” Sobre o desenvolvimento do Parque Industrial da Concórdia, Ho Iat Seng espera que as empresas se

concessionárias de jogo, ao participarem no concurso, demonstram confiança, pois a dimensão da indústria con tinua a aumentar”, adiantou.

Ho Iat Seng disse mesmo que é “anormal ter sem pre lucros”. “As empresas estrangeiras, no início do investimento na China, já estavam preparadas para terem prejuízos para depois alcançarem lucros a longo prazo. Nunca há lucros permanentes e isso até as pequenas e médias empresas sabem. Temos ainda dívidas relativas a 88 mil metros quadrados de terrenos con cessionados às operadoras. As concessionárias não vão abrir falência este ano e não podemos acreditar nos

rumores falsos”, garantiu o Chefe do Executivo. Pe dindo aos deputados para acalmarem os trabalhadores do sector do jogo quanto a receios de despedimen to, Ho Iat Seng voltou a garantir que essa questão será assegurada nos novos contratos. “Em relação aos trabalhadores podem estar calmos, pois as garantias estão definidas. Não vamos permitir qualquer retroces so. Espero que as conces sionárias possam cumprir, pois temos o nosso meio de fiscalização. Acredito que vão cumprir, pois têm o sentido de responsabilidade social. Más interpretações e conspirações não serão úteis”, avisou.

Hospital do futuro

Governo acredita que telecirurgias serão uma realidade em Macau

COM a chegada do novo hospital nas ilhas e a rede 5G ao território, o Governo está confiante de que será possível disponibilizar aos doentes consultas à distância ou até telecirur gias. Esta foi a ideia dei xada ontem pelo Chefe do Executivo, em resposta às questões colocadas pelos deputados Ho Ion Sang e Wong Kit Cheng sobre o sistema de saúde no futuro e a aplicação da rede 5G na vida quotidiana.

“Na área da medicina, e no Complexo Hospitalar das Ilhas, será possível a rede 5G em algumas con sultas de doenças crónicas, que podem acontecer por vídeo conferência. Serão introduzidas novas técni cas de saúde e estaremos preparados para ter um serviço de oncologia e medicina estética, por exemplo.”

A ideia é que não haja uma sobreposição em re lação aos serviços médicos já disponibilizados pelo Centro Hospitalar Conde de São Januário e Kiang

Wu. Nestas entidades “a população consegue obter bons serviços de saúde” embora “nas doenças mais graves tenhamos de deslocar os nossos pacien tes para fora de Macau”, admitiu Ho Iat Seng.

Passo a passo

Ainda sobre a aplicação da rede 5G, que será operada pela CTM e Chi na Telecom, o arranque poderá fazer-se na área educativa, mas não só. “A aplicação da rede 5G no sector industrial, no Interior da China, tem sido bem-sucedida. Em Macau podemos começar nas escolas e também nas contas únicas [de acesso a serviços públicos]. Neste momento a cobertura da rede ainda não é total, o seu desenvolvimento tem várias vertentes. Espero que, por exemplo, o sector da venda a retalho possa obter melhores resultados com esta rede, que também poderá ser aplicada na gestão da indústria hote leira”, apontou o Chefe do Executivo. A.S.S.

possam instalar em edifícios mais altos.

“O limite agora é de nove metros, mas espero que possam ser construídos edifícios até 30 metros. O terreno é do Estado, mas foi concedido às empresas.

Tendo como base o exemplo de Hong Kong, esperamos conseguir um maior progresso no desenvolvimento do parque da Concórdia.”

Têxtil Indústria “não está condenada à morte”

Grande parte das fábricas que outrora laboraram na zona norte de Macau estão hoje de portas fe chadas, mas Ho Iat Seng acredita que o sector industrial ainda se pode revitalizar. “A indústria têxtil tem tradição em Macau desde os anos 80, tal como as fábricas de brinquedos. Será que a indústria

têxtil está condenada à morte?

Não.” Ho Iat Seng deu mesmo o exemplo de uma fábrica têxtil na zona de Guangzhou que, ao fim de 14 anos, conseguiu voltar a laborar e entrar no mercado europeu. “Temos de aprender com a experiência desta empresa.

As marcas europeias querem

uma entrega de produtos em 14 dias e as fabricas têm de ser competitivas. Não vamos alcan çar esta dimensão, mas temos de explorar mais mercados. Esperamos que as indústrias tradicionais se dediquem a esta experiência aprendendo com estes exemplos.”

grande plano 3 quinta-feira 17.11.2022 www.hojemacau.com.mo
GCS

UNESCO COOPERAÇÃO PARA ELEVAR ROTA DA SEDA A PATRIMÓNIO CULTURAL

Este mar que nos une

As autoridades nacio nais e o Governo da RAEM querem apro fundar a colaboração internacional para a candidatura da Rota Marítima da Seda a património cultural da UNESCO. O compromisso foi ontem sublinhado no Fórum Cultural Internacional sobre a Rota Marítima da Seda

AChina vai “intensificar a cooperação com outros países” para promover a candidatura da Rota Marítima da Seda a patri mónio cultural mundial das Nações Unidas, garantiu ontem um dirigente chinês no Fórum Cultural Internacional sobre a Rota Marítima da Seda.

O administrador adjunto da Administração Nacional do Pa trimónio Cultural da China, Guan Qiang, disse esperar que cidades de

outros países possam integrar uma aliança para preparar a nomeação da Rota Marítima da Seda para a lista do património mundial da Organização das Nações Unidas para a Educação, a Ciência e a Cultura (UNESCO).

Actualmente, a aliança con ta com 28 cidades, incluindo Macau.

Na apresentação feita no fó rum, Guan Qiang apontou como exemplos o estado de Malaca, na Malásia, onde existe ainda uma comunidade lusodescendente, e a cidade de Sofala, em Moçambique.

A posição de Macau

No mesmo fórum, a secretária para os Assuntos Sociais e Cultura de

Macau, Elsie Ao Ieong U, disse que os trabalhos de protecção do património cultural e candidatura da Rota Marítima da Seda a patri mónio mundial “estão numa fase crucial”.

A governante sublinhou que a candidatura será um esforço “conjunto” das cidades membro da aliança e realçou a confiança

dada pelas autoridades chinesas relativamente ao “posicionamento de Macau como ‘base de intercâm bio e cooperação que promova a coexistência de diversas culturas, sendo a cultura chinesa a predomi nante’”. Neste aspecto, a protecção da Rota Marítima da Seda e a sua candidatura para a “inscrição na Lista do Património Cultural da UNESCO constitui uma missão cultural importante”, indicou a secretária.

Elsie Ao Ieong U referiu que a protecção da Rota Marítima da Seda e a sua candidatura para a “inscrição na Lista do Património Cultural da UNESCO constitui uma missão cultural importante”

Também uma assessora para o património mundial do Conselho Internacional dos Monumentos e Sítios (ICOMOS), Susan Denyer, defendeu que os países envolvidos na Rota Marítima da Seda devem “estabelecer um mecanismo de coordenação” para preparar a nomeação.

Já em 2019 o então adminis trador adjunto da administração estatal do património cultural da China, Gu Yucai, tinha dito esperar que “cidades de outros países pos sam também integrar” a nomeação da Rota Marítima da Seda.

O Fórum Cultural Internacional sobre a Rota Marítima da Seda ter mina hoje no Centro de Convenções do Centro de Ciência de Macau.

OCentro de Estudos de Macau da Universidade de Macau realizou ontem um seminário de análise à apresentação do relatório das Linhas de Acção Governativa (LAG) para o ano financeiro de 2023, com vários académicos e especialistas a demonstrarem apoio em relação aos planos traçados por Ho Iat Seng, em particular em termos económicos. O seminário foi con duzido pela directora do centro, a ex-deputada Agnes Lam.

Num comunicado, a instituição declara que o Governo “está a fazer um grande esforço para melhorar a vida das pessoas e para promover a recuperação económica durante os difíceis tempos de pandemia”.

Ainda assim, foi indicado que o Executivo deveria implementar mais políticas viradas para o futuro e para reforçar a consolidação do desenvolvimento de Macau na era pós-pandémica.

Uma salva de palmas

Académicos do Centro de Estudos da Universidade de Macau elogiam LAG

Uma das personalidades que participou no evento foi o também ex-deputado Gabriel Tong, que preside ao Instituto de Gestão de Macau. O académico destacou a política económica “1+4”, que tem como objectivo diversificar o sector do turismo e lazer e promover as quatro indústrias de desenvolvimento prioritário: big health, indústria financeira mo derna, convenções, exposições e comércio, e cultura e desporto. “A política ‘1+4’ é uma solução prática e apropriada aos problemas que Macau enfrenta nesta altura. Está alinhada com o desenvolvimento do turismo integrado e pode estimular a economia, criar emprego e melhorar a qualidade de vida da população.

Já o professor assistente da Faculdade de Ciência Sociais, Kwan Fung, enalteceu o facto de na apresentação das LAG Hot Iat Seng não ter feito grandiosas promessas, porque a situação pandémica não está totalmente controlada, mas antes ter procurado passar um sentido de estabilidade que abre lugar para a recuperação.

Feridas por sarar

Ao mesmo tempo que elogiou o equilíbrio das políticas anunciadas, o académico Ngo Tak Wing desta cou a necessidade de estudar e dar resposta aos efeitos de longo-prazo do impacto da transformação eco nómica em curso em Macau, assim como os diversos desafios que a

população enfrenta em resultado da pandemia.

“A política ‘1+4’ exige quadros qualificados que o mercado de trabalho local pode não ter, sendo incapaz e absorver o desemprego gerado pela transformação das prio ridades económicas. Isto pode levar à subida a curto-prazo do desemprego estrutural”, afirmou o académico.

A intervenção do professor Xu Jianhua foi mais focada nas sequelas de saúde mental resultantes da reces são económica. O docente sugeriu ao Executivo de Ho Iat Seng que tenha atenção à possível subida da criminalidade e à mudança de alvos preferenciais do crime organizado.A subida da taxa de suicídio foi outro dos pontos focado como prioritário e a merecer resposta urgente. Nesse sentido, o académico sugeriu que o Governo crie um mecanismo de resposta a problemas relacionados com doenças mentais em estudantes e professores. J.L.

IAM Iong Weng Ian com mandato renovado

O mandato de Iong Weng Ian como presidente da Comissão de Fiscalização Financeira e Patrimonial do Instituto para os Assuntos Municipais (IAM) foi reno vado por mais dois anos. A informação foi revelada ontem em Boletim Oficial, através de um despacho assinado pelo Chefe do Executivo, Ho Iat Seng. Tam bém os mandatos de Leong Kam Chun como vogal, e de Lo Cheok Peng, como vogal que representa a Direcção dos Serviços de Finanças foram prolongados por mais um ano. Durante este período, Iong vai receber um ordenado mensal de 5.500 patacas, enquanto Leong e Lo recebem 4.500 patacas.

GCS 4 política 17.11.2022 quinta-feira www.hojemacau.com.mo

Cuidadores Inscrições para subsídio em Dezembro

As inscrições para receber o subsídio no âmbito do Projecto-Piloto do Subsídio para Cuidadores 2022-2023 abrem a 1 de Dezembro, de acordo com um comunicado publicado ontem pelo Instituto de Acção Social. O projecto vai decorrer até 30 de Novembro de 2023 e tem como destinatários “acamados permanentes incapacitados” que não se conseguem sentar nem levantar sem ajuda, “pessoas portadoras de deficiência intelectual de grau grave ou profundo, au tismo de grau grave ou profundo” e ainda “pessoas portadoras de deficiência motora de grau grave ou profundo”. O valor mensal do subsídio é de 2.175 patacas, sendo que as pessoas que se encontram abrangidas, no âmbito do programa do ano passado, não precisam de voltar a candidatar-se ao apoio.

DSEC Restauração e vendas a retalho com quebras

Em Setembro, o volume de negócios dos restaurantes entrevistados pela Direcção dos Serviços de Estatística e Censos (DSEC) desceu 4,1 por cento, face a Setembro de 2021. A in formação foi revelada ontem com a publicação dos resultados do Inquérito de conjuntura à restauração e ao comércio a retalho referente a Setembro de 2022. Os volumes de negócios dos proprietários entrevistados de todos os tipos de restauração desceram em termos anuais, salientando-se que o negócio dos restaurantes chineses diminuiu 6,8 por cento. Quanto ao comércio a retalho, observou-se que o volume de negócios dos retalhistas entrevistados desceu 11,3 por cento, em termos anuais. Os negócios das mercadorias de armazéns e quinquilharias, do vestuário para adultos, bem como dos produtos cosméticos e de higiene diminuíram 34,0 por cento, 18,7 por cento e 10,8 por cento, respectivamente. Contudo, o volume de negócios dos automó veis aumentou 13,3 por cento.

Cotai Atropelamento em passadeira causa morte

Um homem com cerca de 60 anos morreu ontem no hospital, depois de ser atropela do por um táxi, quando atravessava uma passadeira no Cotai, na segunda-feira. A informação foi revelada pelo Corpo de Polícia de Segurança Pública. Segundo o relato feito pelo canal chinês da Rádio Macau, o acidente causou igualmente ferimentos à mulher que atravessava a passadeira com a vítima mortal. O taxista confessou ter sido o responsável pela situação. Às autoridades, o condutor explicou não ter tido tempo para travar quando o casal decidiu atravessar a passadeira. O caso foi entregue ao Ministério Público e o homem é suspeito de ter come tido o crime de homicídio por negligência.

Ponte HKZM 2000

tartarugas confiscadas

Um homem que conduzia um veículo com matrícula dupla de Guangdong e Macau foi apanhado a tentar transportar para o Interior da China, através da Ponte Hong Kong-Zhuhai-Macau, 2.000 tartarugas bebés vivas. O contrabando de animais foi detectado pelos serviços de alfândega de Zhuhai que, depois de terem descoberto uma anomalia no veículo, ordenaram a passagem pela máquina de raio-x. Aí foram revelados compartimentos falsos onde estavam escondidas as tartarugas bebés. As autoridades da cidade vizinha revelaram que os animais, tartarugas de orelha vermelha, são uma espécie invasora que ameaça ecossistemas. O caso levou à abertura de um processo penal em Zhuhai.

Casa a estrear

A partir de segunda-feira surge uma nova subsidiária do Banco da China, a pensar nos clientes território. Ontem o banco realizou uma conferência de imprensa para apresentar as mudanças

UM projecto que foca a diversificação das neces sidades financeiras dos residentes e o desenvolvi mento do sector financeiro do território. Foi desta for ma que Chan Hio Peng, presidente da futura subsidiária em Macau do Banco da China, apresentou a ins tituição que vai começa a funcionar na próxima segunda-feira.

Actualmente, o Banco da China está presente em Macau através de uma representação, o que significa que a sede da insti tuição está no Interior. Contudo, com a inauguração da subsidiária, que vai ter como nome Banco da China (Macau) S.A., é aberta uma nova instituição, controlada a 100 por cento pelo Banco da China, mas com sede em Macau.

A entidade bancária realizou ontem uma conferência de im prensa para apresentar a nova instituição e explicar os ob jectivos da mudança. Segundo Chan Hio Peng, uma das grandes apostas vai ser o mercado de obrigações, visto pelo Governo da RAEM como um dos motores da diversificação da economia local. “Vamos focar-nos, muito concretamente, no mercado de

obrigações, na gestão financei ra, compensação de renminbis, fundos de oferta privada, e ainda nas finanças verdes, uma área a que a RAEM presta atenção”, explicou.

A alterações não vão ditar o fim da representação de Macau do Banco da China que se en contra em funcionamento e que vai servir empresas. Ao mesmo tempo, a nova subsidiária, vai

“Vamos focar-nos, muito concretamente, no mercado de obrigações, na gestão financeira, compensação de renminbis, fundos de oferta privada, e ainda nas finanças verdes, uma área a que a RAEM presta atenção” Chan Hio Peng, presidente do Banco da China (Macau)

estar virada para os clientes individuais.

Actualizações e promoções

Por sua vez, Yu Jian, director-ge ral da nova subsidiária, explicou que antes de ser feita a transição é necessário actualizar o sistema informático e suspender alguns serviços que actualmente são prestados. Entre os serviços afec tados estão a aplicação móvel do banco, os pagamentos por código QR e a página com os serviços online.

“Para minimizar o impacto da suspensão dos nossos serviços, o Banco da China reduziu ao máximo o tempo necessário para as mudan ças e fizemos todos os esforços para anunciar junto dos nossos clientes que a suspensão vai decorrer ape nas na manhã de sábado e tarde de domingo”, afirmou Yu Jian.

Como forma de celebrar as alterações, entre 21 a 25 de No vembro, o Banco da China vai lançar um programa de descontos para os utilizadores da aplicação.

Já Leong Sio Hong, director -geral do banco, apontou que as cadernetas bancárias actuais vão ser substituídas por outras com a nova marca do Banco da China (Macau), quando chegarem ao fim da validade. Também os recibos comprovativos de transacções e contratos vão ter o novo logótipo.

Nunu Wu (com J.S.F.)

sociedade 5 quinta-feira 17.11.2022 www.hojemacau.com.mo
ECONOMIA BANCO DA CHINA LANÇA NOVA SUBSIDIÁRIA EM MACAU Chan Hio Peng Yu Jian Leong Sio Hong

PUN ADMITE QUE ORGANIZAÇÃO ENFRENTOU O “ANO MAIS DIFÍCIL”

Os ossos e o ofício

O coordenador da Organização do Grande Prémio de Macau admite que foi difícil criar condições para a participação de pilotos internacionais na competição. Vários potenciais participantes desistiram devido à obrigação de cumprir quarentena de sete dias

O ano em que “ninguém foi”

Pilotos de motos lamentam ausência, mas consideram quarentena proibitiva

“F

OI o ano mais difícil”. Foi des ta forma que o coordenador da Comissão Organi zadora do Grande Prémio de Macau, Pun Weng Kun, caracterizou a preparação do evento que começa hoje e se prolonga até domingo.

Em entrevista ao Jornal do Cidadão, Pun explicou que este ano a organização teve de lidar com vários obstáculos, até porque houve sempre a intenção de trazer pilotos internacionais para participar no evento desportivo.

De acordo com o líder da organização da prova, para os potenciais participantes internacionais é incompreen sível que se possa entrar em Hong Kong sem necessidade de quarentena, mas que ao mesmo tempo em Macau seja pedido um período que consideram excessivo. Este aspecto terá levado a que pilotos que numa primeira fase se tinham mostrado interessados em correr na Guia optassem por cancelar a participação.

Ainda assim Pun Weng Kun mostrou compreen são face aos pilotos que abdicaram da participação. “Não é fácil para os pilotos internacionais virem para Macau, porque além de terem de entrar num avião em que lhes é exigido um teste de ácido nucleico com resultado negativo, ainda têm de atravessar a quarentena e não podem testar positivo”, admitiu. “Só depois deste período podem, finalmente, competir”, acrescentou.

Apesar dos convites re cusados, Pun destacou que 15 pilotos internacionais se mostraram disponíveis para competir no circuito da Guia.

Medidas de prevenção

Até ontem, as pessoas en volvidas no Grande Prémio precisaram de ser testadas a cada dois dias. No entanto, no caso de haver um surto local, a organização não afasta a possibilidade de o período ser encurtado, com a obrigação de ser feito um teste a cada 24

horas. Em relação às medidas de prevenção e a eventuais surtos, que poderão afectar a prova, Pun Weng Kun revelou, ao Jornal do Cidadão, que fo ram preparados vários planos alternativos, com diferentes condições, para garantir que a prova vai ser realizada.

Apesar das dificuldades, o também presidente do Instituto de Desporto deixou um voto de confiança e considerou que, apesar de tudo, o Grande Pré mio vai continuar a ser o maior evento local. João Santos Filipe

Opiloto Lee Johnston considera que a edição de 2022 do Grande Prémio de Motos de Macau vai ficar marcada como “o ano em que ninguém foi”. Apesar de lamentar não estar presente, foi desta for ma que o norte-irlandês comentou, à emissora a BBC, a prova que começa esta manhã.

“Só se pode superar os pilotos que estão em prova, mas, e sem querer faltar ao respeito aos participantes, é claro que mesmo que se ganhe, esta edição vai ser sempre lembrada como aquele ano em que ninguém foi”, afirmou Johnston.

O norte-irlandês cor reu vários anos em Ma cau e tem como melhor resultado os quintos lugares alcançados nos anos de 2014 e 2019. No currículo conta ainda com uma vitória na prova TT Ilha de Man, no ano de 2019.

Sobre as razões para a ausência, Johnston apontou a exigência de quarenta de sete dias e os custos associados. “Não é viável estar longe tantos dias”, afirmou o compe tidor de 33 anos. “Temos de pagar a todo o staff da nossa equipa, e pagar-lhes para que estejam sete dias num hotel sem fazer nada, ainda antes do evento

começar, não faz qual quer sentido”, justificou.

“Adoro aquele lugar”

Outra das ausências mais notadas do Circuito da Guia vai ser a de Michael Rutter, recordista em vitó rias, com nove triunfos na prova. A última vez que Rutter venceu foi em 2019, aquando a realização do último Grande Prémio de Motos, numa prova mar cada por muitos acidentes e polémica, uma vez que a classificação foi feita com base numa única volta.

À BBC, Rutter jus tificou que a quarentena de sete dias tornou a participação proibitiva, apesar de admitir adorar Macau. “Eu adoro aquele lugar e desejava estar lá. Mas, não conseguia estar sentado durante sete dias num quarto. Foi uma decisão razoavelmente simples”, afirmou o pilo to. “Espero regressar no próximo ano”, desejou.

A edição deste ano do Grande Prémio conta com a participação de 15 pilotos, num formato com duas corridas, cada uma com oito voltas, que são realizadas no sábado, às 10h35 e às 16h10. J.S.F.

AACM

Drones proibidos

de voar na Península

O presidente da Autoridade de Aviação Civil (AACM), Simon Chan Weng Hong, decretou ontem a proibição da utilização de drones nas Península de Macau, devido ao Grande Prémio de Macau. A proibição foi anunciada através do Boletim Oficial e justificada com “a necessidade de salvaguardar a segurança e a boa ordem no de curso da 69.ª Edição do Grande Prémio de Macau”. “São proibidas, entre 17 a 20 de Novembro de 2022, todas as actividades de voo com aeronaves não tripuladas na península de Macau, excepto as actividades oficiais expressamente autorizadas pela Autoridade de Aviação Civil”, pode ler-se no comunicado.

6 sociedade www.hojemacau.com.mo
GP
“Não é fácil para os pilotos internacionais virem para Macau, porque [...] têm de atravessar a quarentena e não podem testar positivo.”
17.11.2022 quinta-feira
SOFIA MARGARIDA MOTA

Serviços de Saúde Em luta contra a melioidose

Os Serviços de Saúde de Macau afirmam ter adoptado “medidas para reforçar a prevenção” contra melioidose. Esta é uma doença infecciosa que tem surgido nos últimos tempos em Hong Kong, com 36 ocorrências até 12 de Novembro deste ano. “Embora essa doença infecciosa ainda não tenha sido detectada e com vista a prevenir a sua disseminação em Macau, os Serviços de Saúde tomaram várias medidas para reforçar a prevenção”, foi garantido, através de um comuni cado. Entre as medidas tomadas, foram emitidas as chamadas “orientações relacionadas com a definição e os procedimentos de tratamento para os casos de melioidose”. Além disso, foi igual mente realizado um seminário com o objectivo de “aprofundar a compreensão dos profissionais de saúde da linha de frente sobre melioidose”, com a participação de 100 pessoas.

Taobao Apelo à limpeza de lojas de encomendas

A Direcção dos Serviços de Economia e Desen volvimento Tecnológico (DSEDT) prossegue as inspecções a “lojas de entrega rápida e lojas de recepção de encomendas adquiridas online” para garantir que os estabelecimentos reforçam “a limpeza e a desinfecção dos estabelecimentos e das mercadorias recebidas”. Além disso, foi também pedida atenção ao fluxo de pessoas e que seja exigida a exibição do “código de saúde de Macau” e a digitalização do “código do local” a todos os que entrem nas lojas. O reforço destas medidas surge numa altura em que têm sido detectados múltiplos casos positivos relacio nados com os expressos no centro comercial subterrâneo de Gongbei.

Código Vermelho Broadway e Hotel Rocks serão hotéis de quarentena

O Hotel Broadway e o Hotel Rocks serão os novos hotéis para receber indivíduos com o Código de Saúde de cor vermelha, , a partir do próximo dia 22 de Novembro, informou ontem a Direcção dos Serviços de Turismo. Até à abertura destas unidades hoteleiras para receber quem tem código vermelho e, por exemplo, não tem condições para cumprir os três dias de quaren tena domiciliária, o Hotel Grande Sheraton será o local designado para o efeito. As marcações para cumprir quarentena podem ser feitas através dos contactos apresentados no site da direcção de serviços, em www.macaotourism.gov.mo/pt/ article/notice/hotels-for-red-health-code-holders.

PJ 56 detidos por fraudes ‘online’ milionárias

As polícias de Macau e de Hong Kong detiveram 56 pessoas que supostamente integram um grupo responsável por fraudes ‘online’ no valor de 7,8 milhões de patacas, revelaram ontem as autori dades. Segundo a Polícia Judiciária (PJ), o grupo operava desde Julho de 2021. Em causa, estão 131 casos de fraude cometidos nas duas cidades. Macau deteve dez homens, um dos quais é polícia. Já a polícia de Hong Kong deteve 46 indivíduos, dois deles portadores de bilhete de identidade de residente de Macau. A PJ indicou que a maioria dos fundos fraudulentos foram transferidos para a conta de um membro chave em Hong Kong e depois movimentados de uma forma “complexa”, que passou também pela compra de criptomoedas, numa tentativa de lavagem de dinheiro.

COVID-19 MAIS UMA INFECÇÃO E TESTE DE 24 HORAS PARA PASSAR FRONTEIRA

Regresso do passe diário

Ontem foi anunciado mais um caso positivo de covid-19 cuja origem da infecção será o centro comercial subterrâneo de Gongbei. O indivíduo em causa é segurança no edifício dos Serviços de Solos e Construção Urbana. Elsie Ao Ieong U afirmou que o risco de surto é baixo, mas as autoridades reduziram para 24 horas a validade do teste para atravessar a fronteira

DURANTE a madrugada de ontem foi detectada mais uma infecção de covid-19. O Centro de Coordenação de Con tingência do Novo Tipo de Coronavírus anunciou que um residente do Interior da China testou positivo no teste de ácido nucleico. O indivíduo de 40 anos trabalha como agente de seguran ça no edifício da Direcção Servi ços de Solos e Construção Urbana (DSSCU) no nº33 da Estrada de D. Maria II, é reside na Vila de Tanzhou em Zhongshan.

As autoridades de saúde adiantaram que o homem não apresenta sintomas e que foi enca minhado para o Centro Clínico de Saúde Pública no Alto Coloane.

Ao contrário do que vem sendo habitual, o edifício onde estão alojados múltiplos servi ços públicos não foi decretado zona vermelha, mas a DSSCU ordenou a “desinfecção de todos os pisos das instalações da DSSCU, incluindo dos acessos públicos e elevadores” e suspendeu ontem os serviços

públicos. A médica Leong Iek Hou defendeu que a prática é consistente com as orientações das autoridades de saúde, uma vez que o sujeito não reside no edifício onde também se situam a Direcção dos Serviços para os Assuntos de Tráfego e a Direcção dos Serviços de Obras Públicas.

Além disso, os funcionários dos serviços foram instruídos a ficar em casa durante a parte da manhã de ontem e a fazerem testes rápidos antigénio diários e testes de ácido nucleico durante três dias consecutivos.

Depois do anúncio das me didas, a chefe da Divisão de Prevenção e Controlo de Doenças Transmissíveis, Leong Iek Hou, acrescentou que o indivíduo infectado é chefe de equipa de segurança, e que os funcionários e pessoas que passaram pelos mesmos pisos onde esteve o se gurança terão o código de saúde convertido em amarelo. Além disso, terão de fazer quatro testes de ácido nucleico em cinco dias, assim como os respectivos testes

rápidos, e assim sendo podem voltar ao trabalho.

Sem teste não passa

A secretária para os Assuntos Sociais e Cultura, Elsie Ao Ieong U, afirmou que como é conhecida a fonte de contágio “o risco para a comunidade é baixo”.

Em declarações citadas pelo canal chinês da Rádio Macau, a secretária mencionou que o itinerário em Macau da pessoa em questão é relativamente sim ples, não obrigando ao aperto de

A secretária para os Assuntos Sociais e Cultura afirmou que como é conhecida a fonte de contágio, e o itinerário em Macau do infectado é relativamente simples, “o risco para a comunidade é baixo”

medidas de prevenção, nomeada mente na organização de eventos de grande envergadura como o Grande Prémio de Macau e o Festival de Gastronomia.

Desde ontem à tarde, até ao dia 23 de Novembro, quem atravessar a fronteira, nos dois sentidos, entre Macau e Zhuhai, tem de apresentar o certificado de teste de ácido nucleico com resultado negativo emitido nas últimas 24 horas.

Do outro lado da fronteira, as autoridades de Zhuhai anun ciaram ontem que na terça-feira foram detectados cinco novos casos positivos de covid-19.

O centro de coordenação e contingência revelou que desde ontem as pessoas com “itinerá rios de risco” vão continuar com o código de saúde verde, mas têm de realizar dois testes de ácido nucleico. Se não foram testadas passam a amarelo. A medida foi justificada com a necessidade de “manter a consistência das medidas antiepidémicas e reduzir as inconveniências para a vida diária de residentes”. João Luz

www.hojemacau.com.mo
quinta-feira 17.11.2022 sociedade 7
8 publicidade 17.11.2022 quinta-feira www.hojemacau.com.mo

Os retratos com que Zeng Jing deu forma à ilustração

CHEN JIRU (1558-1639), o pintor de Huating (actual Xangai) que conhecia os segredos da arte, escreveu um cólofone num retrato de um estimado literato de Suzhou que escolheu viver retirado da vida pública, que se pode ler como a descrição de um ideal entre os literatos da região conhecida como Jiangnan: «O senhor Pan, retirado, cheio de solidão, nunca buscando a riqueza material, está sempre satisfeito. O seu coração é sereno como a água, o seu corpo é magro como madeira seca. Ele veste roupas brancas de algodão e habita numa cabana amarela de telhado de colmo. A sua mente está em paz e relaxada, o seu sono é profundo e longo. Apenas possui mil livros e um qin. Os seus bons filhos e netos são amáveis e obedientes.»

O retrato de Pan Qintai (rolo vertical, tinta e cor sobre papel, 116,6 x 58,5 cm, no Museu de Arte da Universidade de Michigan), que mostra um homem de pé, de certa idade, numa pose informal com a mão direita agarrada a um bastão de bambu, um modesto chapéu preto, foi executado por um pintor que se distinguiu na execução de retratos de literatos que mostrando-se se explicavam.

Zeng Jing (c.1564-1647) nascera em Putian (Fujian), mas percorreu a região que incluia as cidades de Nanquim, Songjiang, Suzhou e Hangzhou, dando formas a uma florescente identidade cultural que se manifestava na vida informal dos literatos do fim da dinastia Ming, designados alternativamente como wenren, homens de letras, shi, eruditos, ou shidafu, doutos da pequena nobreza. Nas linhas finas e ondulantes, que figuravam as roupas, eles guardavam a memória das figuras de Gu Kaizhi, distintos dos tradicionais retratos imperiais ou de

ancestrais, as pinturas de Zeng Jing iam além da semelhança, numa ambição que se aproxima do que está escrito no Sutra da Suprema Luz Dourada:

«O verdadeiro dharma-corpo do Buda é como espaço vazio. Respondendo a várias coisas, ele parece tomar formas como a lua na água.»

Zeng Jing evocou o poeta Lin Bu (967-1028) numa inscrição que pode elucidar a forma imaterial que pretendia dar às efígies que pintava:

Refazendo os rostos dos seus camaradas ele parecia querer capturar essa brevidade do olhar que, varrendo tudo à volta, não se pousa mas ilumina.

«Todos os dias recordo o imortal das flores de ameixieira do meu sonho mais perfeito; com o bastão e as sandálias, buscava o que está escondido penetrando a névoa matinal. Estranhas pedras e ainda aqui a integridade sublime de um erudito, flores frias ainda recebem a adoração deste eremita, homem do deserto (yeren). Surpreendo este vislumbre de verdura passeando na relva em volta do lago de Primavera; e pergunto-me se essa fragrância vem de alguma flor de lótus que desabrochou na terra. O meu mais profundo pensamento é uma esperança de viver em reclusão; hesitando, perco a oportunidade de entrar no mais profundo da montanha.»

Refazendo os rostos dos seus camaradas ele parecia querer capturar essa brevidade do olhar que, varrendo tudo à volta, não se pousa mas ilumina.

VIA do MEIO 17.11.2022 quinta-feira 9
INQUIRIÇÕES Paulo Maia e Carmo

Fora de cena

Xi diz a Sánchez para não sobrevalorizar influência chinesa sobre Vladimir Putin

Oprimeiro-ministro espanhol, Pedro Sán chez, pediu ontem ao Presidente da China, Xi Jinping, para convencer a Rússia a acabar com a guerra na Ucrânia, mas o líder chinês respondeu que o seu papel não deve ser sobrevalorizado.

Num encontro bilateral na Indonésia, à margem da cimeira do G20 (grupo das economias mais desenvolvi das e emergentes), Sánchez, como fizeram outros líderes nos últimos dias nas reu niões em Bali, “pediu para a China usar a sua influência para persuadir a Rússia a pôr fim à guerra”, lê-se num comunicado do Governo de Espanha, que não revela a resposta de Xi Jinping.

Segundo fontes da comitiva espanhola que está na Indonésia citadas pela agência de notícias EFE, o Presidente da Re pública Popular da China reconheceu que tem uma boa relação com o líder da Rússia, Vladimir Putin, e destacou que são países vizinhos, mas afirmou que não deve ser sobrevalori zado o papel que Pequim pode ter nesta questão.

Assim, segundo as mes mas “fontes oficiais” citadas

pela EFE, Xi Jinping subli nhou que a China não é um dos actores nesta guerra, iniciada com uma ofensiva militar russa no final de Fe vereiro, e não quer alimentar a tensão no conflito.

Xi defendeu, ainda as sim, segundo as fontes da EFE, que as sanções à Rússia ou as ameaças com julga mentos internacionais não contribuem para alcançar uma solução.

Bons negócios

No comunicado divul gado ontem, o Governo espanhol diz que Sánchez argumentou, perante Xi, que “a agressão da Rússia contra a Ucrânia é uma ameaça à paz e à estabili dade mundial que subverte os princípios de soberania e a integridade territorial que a China sempre defendeu”. Segundo o mesmo comu nicado, neste encontro, que decorreu em Bali, Sánchez e Xi abordaram também a presidência espanhola da União Europeia (UE), no segundo semestre de 2023.

“Sánchez destacou o desejo de seguir a impul sionar a cooperação entre a UE e a China em matéria comercial e de investimen to”, lê-se no texto.

Altamente inflamável

AChina pediu ontem “calma” a todas as partes na sequência das informações sobre o míssil de fabrico russo que atingiram a Polónia e que colocaram o exército polaco em estado de alerta.

“Na situação actual, todas as partes envolvidas devem manter a calma e a contenção para que seja evitada uma escalada”, disse Mao Ning, porta-voz do Ministério dos Negócios

ECONOMIA CONSUMO DOMÉSTICO E ACTIVIDADE FABRIL ENFRAQUECERAM

Oconsumo

doméstico

e a atividade fabril enfraqueceram na China em Outubro, de acordo com dados oficiais ontem divulgados, reflectindo o impacto das medidas de prevenção epidémica, após um aumento do número de casos de covid-19.

As vendas a retalho caíram 0,5 por cento, em comparação com o perío do homólogo e abaixo da expansão de 2,5 por cento registada em Setembro, à medida que milhões de

EM OUTUBRO

pessoas foram colocadas sob confinamento. O cres cimento da produção fabril desacelerou para 5 por cento, em relação ao ritmo de 6,3 por cento registado no mês anterior.

O desempenho foi ainda mais fraco do que o esperado pelos analistas, que previam que a actividade económica abrandaria, face às medidas de prevenção epidémica e o aumento das taxas de juro nos Estados Unidos e outros países, que pesam sobre a actividade global.

“Novembro está a ser ainda pior”, disse Zichun Huang, da consultora Capital Economics, num relatório.

O crescimento da eco nomia chinesa recuperou para 3,9 por cento, em relação ao ano anterior, nos três meses encerrados em Setembro, ante 2,2 por cento no primeiro semestre, mas economistas dizem que a actividade económica voltou a enfraquecer.

Reduziram as previsões de crescimento anual para até 3 por cento, o que estaria

Estrangeiros da China, em Pequim. Da mesma forma, o secretário-geral ONU defendeu na terça-feira à noite que é “absolutamente essencial” evitar o agrava mento da guerra na Ucrânia, mostrando-se “profunda mente preocupado” com

a queda de um míssil de fabrico russo na Polónia.

Numa breve declaração transmitida pelo porta-voz da ONU, António Guterres apelou a uma “investigação exaustiva” sobre a queda do míssil que matou duas pessoas na Polónia.

O Ministério dos Negó cios Estrangeiros da Poló nia confirmou na noite de terça-feira que um “projéctil de fabrico russo” atingiu o território deste país da Nato junto à fronteira com a Ucrânia, causando a morte a duas pessoas.

“Na vila de Przewodów (...), um projéctil de fabrico russo caiu, matando dois cidadãos da República da Polónia”, salienta-se num comunicado do porta-voz do ministério, Lukasz Jasina.

IMOBILIÁRIO PREÇOS REGISTAM

entre os níveis mais baixos em quatro décadas.

As importações de Ou tubro encolheram 0,7 por cento, em relação ao mes mo mês do ano anterior e abaixo da expansão de 0,3 por cento registada no mês anterior, uma vez que a pro cura pelos consumidores caiu, de acordo com dados alfandegários divulgados anteriormente.

As exportações caíram 0,3 por cento, um reverso do aumento de 5,7 por cento registado em Setembro.

OS preços das casas novas na China regis taram, em Outubro, a maior queda homóloga dos últimos sete anos, segundo dados ofi ciais ontem divulgados, num período de desaceleração económica e de crise de li quidez no sector imobiliário.

Os preços das habitações nova contraíram 1,6 por cento no mês passado, em termos homólogos, de acordo com cálculos efectuados a partir de dados difundidos pelo Gabi nete Nacional de Estatísticas (GNE) do país asiático.

Trata-se da maior queda, desde Agosto de 2015, neste

indicador que agrega o preço médio nas 70 maiores cida des da China. Em Outubro, os preços dos imóveis caí ram em 58 das 70 cidades, em relação ao mês anterior - contra 54 em setembro.

Pequim e Xangai, as principais cidades da China, foram excepções ao registar um aumento dos preços no mês passado.

Esta semana, as autori dades anunciaram medidas para estimular o sector, incluindo directrizes do banco central e do regulador bancário e de seguros, que visam garantir maior acesso

10 china www.hojemacau.com.mo 17.11.2022 quinta-feira
UCRÂNIA PEQUIM PEDE CONTENÇÃO APÓS MÍSSIL TER ATINGIDO A POLÓNIA
O míssil de fabrico russo que atingiu ontem território polaco parece afinal ter sido disparado pela Ucrânia. Pequim pede tranquilidade a todas as partes envolvidas
REUTERS
“Na situação actual, todas as partes envolvidas devem manter a calma e a contenção para que seja evitada uma escalada.” MAO NING PORTA-VOZ DO MNE CHINÊS

Na mesma nota, acrescenta -se que o embaixador russo na Polónia foi convocado para prestar “explicações detalhadas”.

Entretanto, o Presidente dos Estados Unidos, Joe Bi den, disse que é improvável que o míssil que atingiu a Polónia e matou duas pessoas tenha sido disparado a partir da Rússia.

“Há informações preli minares que contestam isso”, disse Biden aos jornalistas quando questionado se o míssil foi disparado da Rússia.

“É improvável nas linhas da trajectória que tenha sido disparado da Rússia, mas veremos”, acrescentou.

Por outro lado, os líderes do G7 e da Nato (Organiza ção do Tratado do Atlântico Norte) decidiram apoiar uma investigação sobre a queda do míssil de fabrico russo, disse o Presidente dos EUA.

Céu vigiado

Ontem, a estação de televi são norte-americana CNN noticiou que um avião da Nato, que sobrevoava o espaço aéreo da Polónia, rastreou o míssil que explo diu no país na terça-feira e matou duas pessoas.

“A informação com pistas de radar [do míssil] foi for necida à Nato e à Polónia”, acrescentou a mesma fonte, que não foi identificada.

Os aviões da Nato têm realizado vigilância regular em torno da Ucrânia desde o início da invasão russa, a 24 de Fevereiro. Mais tarde, o secretário-geral, Jens Stol tenberg, disse que a explosão que matou duas pessoas na Polónia “foi provavelmente causada” por um míssil ucra niano, (ver última).

COVID-19 UNIVERSIDADE DE PEQUIM SOB CONFINAMENTO APÓS CASO MAIOR QUEDA DESDE 2015

ao crédito para ajudar os construtores mais endivi dados a concluir projectos inacabados.

Devido à falta de li quidez, alguns grupos sus penderam os trabalhos de construção de milhares de

que adquiriu os imóveis em regime pré-venda recusou pagar as prestações mensais, ameaçando agravar a crise.

A crise no imobiliário tem fortes implicações para a classe média do país. Face a um mercado de capitais exí guo, o sector concentra uma enorme parcela da riqueza das famílias chinesas – cerca de 70 por cento, segundo diferentes estimativas.

O sector imobiliário e a construção, que impul sionaram a recuperação pós-pandemia em 2020, compõem mais de um quarto do PIB da China.

AS autoridades chinesas colocaram ontem uma das maiores universidades de Pequim sob confinamen to, depois de diagnostica rem um caso de covid-19, ilustrando a insistência na estratégia de ‘zero casos’, apesar do crescente descon tentamento popular.

Alunos e professores da Universidade de Pequim foram proibidos de sair do ‘campus’ e as aulas passa ram a ser dadas via ‘online’, de acordo com um aviso emitido pela instituição.

A universidade tem quase 50.000 estudantes,

segundo o seu portal ofi cial. A China diagnosticou cerca de 20.000 casos, entre segunda e terça-feira, dos quais 350 foram registados em Pequim que, embora represente uma pequena fracção da sua população

de 21 milhões, foi suficiente para desencadear bloqueios e quarentenas localizadas, no âmbito da estratégia de ‘zero casos’ de covid-19.

As autoridades querem evitar bloqueios em toda a cidade, para tentar minimizar

o impacto na actividade eco nómica, mas sem abdicar da estratégia que visa eliminar surtos do novo coronavírus.

Na Primavera passada, um bloqueio total de dois meses de Xangai, a “capi tal” económica da China, interrompeu as cadeias de fornecimento e o comér cio, afectando a economia chinesa.

Directrizes nacionais publicadas na semana pas sada pediram aos governos locais que sigam uma abordagem científica e direccionada e que evitem medidas desnecessárias.

china 11 www.hojemacau.com.mo quinta-feira 17.11.2022

POESIA YAO JINGMING VOLTA A TRADUZIR NUNO JÚDICE EM “O PESO DO MUNDO”

Poemas de uma vida

Yao Jingming, poeta, tradutor e académico, é o autor da segunda antologia de poemas de Nuno Júdice traduzida para chinês, intitulada “O Peso do Mundo”. O poeta português confessa -se emocionado por mais um projecto literário desta envergadura que pres tigia não só a sua carreira como todo o universo da língua portuguesa

DO leque variado de autores portugue ses traduzidos para mandarim, muitos deles clássicos, mas também con temporâneos, Nuno Júdice é o mais recente. Após a tradução para chinês de uma primeira antologia de poe mas, em 2018, surge agora, também pela mão de Yao Jingming, poeta, tradutor e académico, uma segunda antologia, intitulada “O Peso do Mundo”. Este projecto literário nasce do 1573 – Pré mio Internacional de Poesia atribuído em Sichuan a Nuno Júdice, tendo sido também patrocinada a edição do livro.

Em “O Peso do Mun do”, Nuno Júdice explicou

ao HM que é feita “a pers pectiva de toda a minha poesia”. “Tem poemas que vêm dos meus primeiros livros até aos mais recen tes. Tentei que desse uma

visão do meu universo poético nas suas várias fa ses, mas pondo um acento numa fase mais recente. A intenção foi que o leitor chinês me compreendesse como poeta na totalidade”, adiantou.

Confessando sentir muita emoção por ver mais uma obra sua editada com poemas traduzidos para mandarim, que traz con sigo “um mundo cultural completamente diferente” do português, Nuno Júdice sente que este é também um passo importante numa carreira que começou em 1972, com “A Noção do Poema”.

“A China tem uma longa tradição poética e há

uma curiosidade e interes se pela poesia do mundo. Neste momento calhou-me a mim ter este prémio, o que dá mais relevo à minha carreira, sendo também prestigiante para a mim e para toda a poesia portu guesa. Portugal tem uma longuíssima relação com a China, e tendo em conta que estamos afastados, ter esta difusão da nossa literatura volta a formar o interesse na relação entre Portugal e a China.”

O nome do livro foi uma decisão do autor e do tradu tor e é também o título de um dos poemas, um dos prefe ridos de Nuno Júdice. “Foi escolhido devido à situação do mundo actual, em que

COLÓNIA MUSEU RESTITUI 92 BRONZES DO BENIM À NIGÉRIA

UM museu na cidade alemã de Colónia está a preparar o regresso à Nigéria de 92 pe ças pertencentes aos chamados “bronzes do Benim”, pilhados durante a era colonial, disse terça-feira a câmara munici pal, numa declaração.

As obras fazem atualmente parte da coleção do Museu Et nográfico Rautenstrauch Joest (RJM, na sigla em inglês), que apresentou à autarquia um plano de restituição, que deverá ser aprovado em 8 de Dezembro.

“Três obras serão devolvi das em Dezembro, a pedido dos parceiros nigerianos, e 52 outras obras serão devol vidas sucessivamente a partir de 2023. Trinta e sete outras

obras permanecerão inicial mente emprestadas no RJM durante dez anos”, lê-se na declaração.

Vários milhares de bronzes foram pilhados em 1897 du rante a invasão do palácio real do Benim (na actual Nigéria) por soldados britânicos, que posteriormente os leiloaram em várias capitais europeias ou os venderam individual mente.

De acordo com uma decla ração da cidade de Colónia, a restituição proposta é o resultado de negociações com representantes do Governo nigeriano, iniciadas em 2021 sob os auspícios do Ministério Federal dos Negócios Estran geiros alemão e da Secretaria

de Estado da Cultura alemã. Uma declaração de intenções foi assinada em Berlim a 1 de Julho, na qual o Governo ale mão se comprometeu a preparar o caminho para o regresso dos bronzes.

Durante a cerimónia, a chefe da Cultura alemã, Claudia Roth, disse que “como Governo e como nação”, a Alemanha ad mite “as terríveis atrocidades do colonialismo” e entregou as duas primeiras peças a serem devolvidas ao seu homólogo nigeriano.

Cerca de 1.100 artefactos - incluindo placas, figuras hu manas e animais e ornamentos reais - encontram-se, ainda, na Alemanha, espalhados por cerca de 20 museus.

sentimos o peso das coisas que estão a acontecer.”

O poeta-tradutor

Yao Jingming não res pondeu em tempo útil às nossas questões sobre este trabalho de tradução, mas Nuno Júdice fala de uma relação cúmplice na hora de transformar palavras em caracteres chineses. “Há poemas [no livro] que são da primeira fase [da minha carreira], com imagens e uma linguagem mais com plexa, mas sempre estabe lecemos um diálogo para resolver todas as dúvidas. Tenho absoluta confiança no meu tradutor, que ainda por cima é poeta, e um poeta, ao traduzir poesia, tem uma

12 eventos 17.11.2022 quinta-feira www.hojemacau.com.mo
“Tenho absoluta confiança no meu tradutor, que ainda por cima é poeta, e um poeta, ao traduzir poesia, tem uma maior sensibilidade para o entendimento da nossa língua e da musicalidade do português.”
NUNO JÚDICE POETA
MARIUS BECKER/DPA

PUB.

maior sensibilidade para o entendimento da nossa língua e da musicalidade do português.”

O poeta português diz que “há também tradutores que não são poetas que conseguem ter essa sensi bilidade, mas um tradutor ‘normal’, muitas vezes, tem mais dificuldades, sobretudo em fazer passar aquilo que é a música da nossa língua”. “É preciso que o poema chi nês também tenha um ritmo que permita ver e ouvir o poema original”, confessou.

Assumindo que Bei Dao é um dos seus poetas favoritos, além de já ter feito algumas traduções de poesia chinesa para português, partindo da versão inglesa,

“Portugal tem uma longuíssima relação com a China, e tendo em conta que estamos afastados, ter esta difusão da nossa literatura volta a formar o interesse na relação entre Portugal e a China.”

Nuno Júdice continua tam bém a publicar novos textos.

“Este ano saiu em Portu gal uma antologia chamada

‘50 anos de Poesia’, em que escolho poemas que foram publicados em vários livros, e terminei também um livro de poesia que vai sair em Março, ‘Uma Colheita de Silêncios’”.

Este é um livro “com um certo lado de memória, sobretudo de poetas que conheci”, existindo, assim, uma “homenagem a alguns deles, como é o caso de Ruy Belo e Pedro Tamen”. “Há também uma lembrança desses anos 60 e 70 que eu vivi, mas depois há também uma série de poemas sobre a natureza, a pintura na na tureza, a partir de quadros que trabalhei numa secção do livro. É uma obra ampla e várias temáticas, incluindo a do amor”, concluiu.

GRAMMY BEYONCÉ LIDERA COM NOVE NOMEAÇÕES

Edital n.º : 5/E-DC/2022

Processo n.º : 10/DC/2022/F

EDITAL

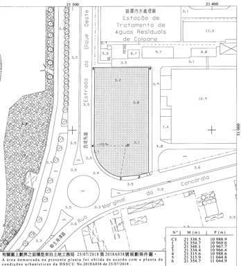
Assunto : Audiência dos interessados sobre ocupação ilegal de terreno do Estado

Local : Terreno situado entre a Estrada do Dique Oeste e a Rua Marginal da Concórdia, em Coloane (demarcado a tracejado na planta em anexo)

Lai Weng Leong, Director da Direcção dos Serviços de Solos e Construção Urbana (DSSCU), faz saber que ficam notificados os ocupantes ilegais do terreno indicado em epígrafe, cujas identidades e moradas se desconhecem, do seguinte: 1. A DSSCU, no exercício dos poderes de fiscalização conferidos pela alínea 3) do n.º 1 do artigo 185.º da Lei n.º 10/2013 (Lei de terras), verificou que o terreno indicado em epígrafe foi vedado com arame farpado e chapas metálicas. No terreno foram construídas três entradas e saídas com portões metálicos, os quais ficaram trancados à chave. Foi igualmente depositada uma grande quantidade de veículos abandonados, acessórios de motorizadas e de automóveis e diversos materiais, bem como contentores metálicos. Tudo isto, sem que tenha sido emitida pela DSSCU a respectiva licença de obra e sem que tenha sido atribuída aos ocupantes a respectiva licença de ocupação temporária nos termos dos artigos 76.º a 81.º da Lei n.º 10/2013 (Lei de terras). Por conseguinte, foi instaurado o procedimento administrativo n.º 10/DC/2022/F relativo à desocupação e restituição do terreno ao Estado.

2. De acordo com a certidão da Conservatória do Registo Predial (CRP), emitida em 20 de Outubro de 2022, o terreno consta da planta cadastral n.º 71259004, emitida em 30 de Setembro de 2022 pela DSCC, situa-se entre a Estrada do Dique Oeste e a Rua Marginal da Concórdia, em Coloane, possui uma área cerca de 2930 m2, não se encontra registado a favor de particular (pessoa singular ou pessoa colectiva) o direito de propriedade ou qualquer outro direito real, nomeadamente de concessão, aforamento ou arrendamento, e não foi atribuída aos ocupantes a respectiva licença de ocupação temporária, pelo que o mesmo considera-se terreno disponível do Estado, nos termos do artigo 7.º da Lei Básica da Região Administrativa Especial de Macau (RAEM) e do artigo 8.º da Lei n.º 10/2013 (Lei de terras).

3. Com efeito, a ocupação de propriedade do Estado por ocupantes que não disponham de contrato de concessão ou de licença de ocupação temporária prevista na Lei de terras a autorizar a sua posse, determina que o terreno seja desocupado e entregue ao Governo da RAEM, órgão responsável pela gestão, uso e desenvolvimento dos solos e recursos naturais, nos termos do artigo 7.º da Lei Básica da RAEM, competindo ao Chefe do Executivo determinar a respectiva ordem de desocupação e fixar um prazo para o efeito, ao abrigo do disposto no n.º 1 do artigo 208.º da Lei de terras.

4. O terreno em epígrafe possui uma área superior a 2500 m2 e nos termos da alínea 4) do artigo 196.º da Lei de terras, quem ocupar ilegalmente terrenos do domínio público ou do domínio privado é punível, consoante a área, com multa de 1 600 000,00 a 3 000 000,00 patacas.

5. Considerando a matéria referida no ponto 3 do presente edital, podem os interessados, querendo, pronunciar-se por escrito sobre a mesma e demais questões objecto do procedimento, no prazo de 10 (dez) dias contados a partir da data da publicação do presente edital, podendo requerer diligências complementares e oferecer os respectivos meios de prova, em conformidade com o disposto nos artigos 93.º e 94.º do Código do Procedimento Administrativo (CPA), aprovado pelo Decreto-Lei n.º 57/99/M, de 11 de Outubro.

6. O processo pode ser consultado durante as horas de expediente nas instalações da Divisão de Fiscalização do Departamento de Urbanização desta DSSCU, situadas na Estrada de D. Maria II, n.o 33, 15.º andar, em Macau (telefones n.os 85977154 e 85977227).

RAEM, 10 de Novembro de 2022.

Processo n.º : 10/DC/2022/F

Local : Terreno situado entre a Estrada do Dique Oeste e a Rua Marginal da Concórdia, em Coloane (demarcado a tracejado na planta em anexo) Planta em anexo :

Acantora

Beyoncé lidera as nomeações aos 65.º Grammy, prémios norte-ame ricanos da música, com nove indicações, seguida do ‘rapper’ Kendrick Lamar, com oito, e das cantoras Adele e Brandi Carlile, com sete cada uma, foi terça-feira anunciado.

Somando as nove nomeações de Beyoncé nesta edição dos Grammy com as que teve em anos anteriores, a cantora torna-se na artista mais nomeada de sempre, com 88 indicações, recorde que partilha com o ma rido, o ‘rapper’ e produtor Jay-Z, que conta este ano com cinco nomeações.

Beyoncé está nomeada para Álbum do Ano, com “Renaissance”, e Gravação do Ano e Canção do Ano, com “Break my soul”, con tando ainda com nomeações em categorias de Dança/Eletrónica e R&B (Rhythm and Blues).

Entre os artistas mais nomeados nos Grammy 2023 estão também Mary J. Blige, DJ Khaled, Future, Terius “The-Dream” Gesteelde-Diamant, Randy Merrill e Harry

Styles, com seis indicações cada. A longa lista de 91 categorias dos Grammy abrange diferentes géneros musicais, do jazz à música clássica, passando pelo rap, o rock ou o metal, e do gospel aos audiolivros. Este ano, foram criadas cinco novas categorias, incluindo Compositor do Ano.

A cantora brasileira Anitta é uma das no meadas ao Grammy para Artista Revelação, categoria que irá disputar com os italianos Måneskin, que venceram no ano passado o Festival Eurovisão da canção, a dupla DOMi & JD Beck, Omar Apollo, Samara Joy, Latto, Muni Long, Tobe Nwigwe, Molly Tuttle e os Wet Leg. A cerimónia de entrega dos 65.º Grammy está marcada para 5 de Fevereiro. Beyoncé é a mulher mais premiada da his tória dos Grammy, tendo recebido 28 prémios. E este ano pode igualar ou ultrapassar o recorde detido pelo maestro húngaro-britânico Georg Solti (1912 – 1997), atingido em 1997, que ao longo da carreira venceu 31 Grammy.

eventos 13 quinta-feira 17.11.2022 www.hojemacau.com.mo
O Director de Serviços Lai Weng Leong
REINALDO RODRIGUES/GLOBAL IMAGENS

UM DISCO HOJE

FEET HIGH AND RISING | DE LA SOUL

Enquanto na costa oeste dos Estados Unidos, no final dos anos 80 a revolução do hip hop lutava contra o sistema, o racismo e a violência policial, e falava directamente com as ruas dominadas por crime e narcotráfico, em Nova Iorque os De La Soul lançavam o seu primeiro disco “3 Feet High and Rising”. A injecção de po sitividade, festa, cores e flores acrescentou um elemento psi cadélico ao género. “The Magic Number” e “Me Myself and I” catapultou o trio de Brooklyn para a popularidade universal. Quase em simultâneo, em Queens, surgiam os A Tribe Called Quest e a festa estava feita. João Luz

Propriedade Fábrica de Notícias, Lda Director Carlos Morais José Editores João Luz; José C. Mendes Redacção Andreia Sofia Silva; João Santos Filipe; Nunu Wu Colaboradores Anabela Canas; António Cabrita; Ana Jacinto Nunes; Amélia Vieira; Duarte Drumond Braga; Gonçalo Waddington; José Simões Morais; Julie Oyang; Paulo Maia e Carmo; Rosa Coutinho Cabral; Rui Cascais; Sérgio Fonseca; Colunistas André Namora; David Chan; João Romão; Olavo Rasquinho; Paul Chan Wai Chi; Paula Bicho; Tânia dos Santos Grafismo Paulo Borges, Rómulo Santos Agências Lusa; Xinhua Fotografia Hoje Macau; Lusa; GCS; Xinhua Secretária de redacção e Publicidade Madalena da Silva (publicidade@hojemacau.com.mo) Assistente de marketing Vincent Vong Impressão Tipografia Welfare Morada Pátio da Sé, n.º22, Edf. Tak Fok, R/C-B, Macau; Telefone 28752401 Fax 28752405; e-mail info@hojemacau.com.mo; Sítio www.hojemacau.com.mo

Aviso

Avisam-se todos os interessados que estão abertos os concursos de prestação de pro vas, para o preenchimento dos seguintes lugares, em regime de contrato administrativo de provimento da Direcção dos Serviços de Educação e de Desenvolvimento da Juventude (DSEDJ), de acordo com as condições referidas no Boletim Oficial da Região Administrativa Especial de Macau, n.° 46, II Série, de 16 de Novembro de 2022, e cujo prazo de apresentação das candidaturas termina no dia 28 de Novembro de 2022:

Docente do ensino secundário de nível 1, 1.º escalão:

- Área disciplinar: língua portuguesa dois lugares (Número de referência: DS03/2022) *

- Área disciplinar: música um lugar (Número de referência: DS04/2022) *

- Área do ensino especial dois lugares (Número de referência: DS05/2022) *

- Área do ensino especial cinco lugares (Número de referência: DS06/2022)

Docente dos ensinos infantil e primário de nível 1 (primário), 1.º escalão:

- Área de língua portuguesa dois lugares (Número de referência: DP01/2022) *

- Área do ensino especial um lugar (Número de referência: DP02/2022) *

- Área de ciência um lugar (Número de referência: DP03/2022)

- Área do ensino especial um lugar (Número de referência: DP04/2022)

*Em língua veicular portuguesa.

A Direcção dos Serviços de Educação e de Desenvolvimento da Juventude, aos 10 de Novembro de 2022.

O Director, Kong Chi Meng

TEMPO AGUACEIROS MIN 22 MAX 26 HUM 75-95% UV 4 (MODERADO) • EURO 8.37 BAHT 0.22 YUAN 1.13
www. hojemacau. com.mo SUDOKU SOLUÇÃO DO PROBLEMA 34 PROBLEMA 35 32 753981246 248653179 691724853 869237415 172465938 435198627 916372584 527846391 384519762 34 186534279 324879651 957162438 872643915 413795862 569218743 645921387 231487596 798356124 36 378564912 129738654 564192783 845216379 236987145 917453826 483621597 751349268 692875431 33 61547 15986 1937 95624 3689 83 59 431 34 837 3891 764 7631 4382 6284 523 2476 952 35 192 61 92748 6412 2847 9738 58671 93 945 36 PUB. 14 [f]utilidades www.hojemacau.com.mo CINETEATRO CINEMA SHE SAID SALA 1 BLACK PANTHER: WAKANDA FOREVER [B] Um filme de: Ryan Coogler Com: Letitia Wright, Lupita Nyong’o, Danai Gurira 14.30, 18.15, 21.15 SALA 2 SHE SAID [B] Um filme de: Maria Schrader Com: Carey Mulligan, Zoe Kazan, Patricia Clarkson 14.00, 16.30, 21.30 KAMEN RIDER REVICE X DONBROTHERS THE MOVIE [B] FALADO EM JAPONÊS LEGENDADO EM CHINÊS Um filme de: Koichi Sakamoto, Ryuta Tazaki 19.30 SALA 3 FAST & FEEL LOVE [B] FALADO EM TAILANDÊS LEGENDADO EM CHINÊS E INGLÊS Um filme de: Nawapol Tharnrongrattanarit Com: Nat Kitcharil,
Urassaya Sperbund 14.15, 19.00
17.11.2022 quinta-feira
KAMEN RIDER REVICE X DONBROTHERS THE MOVIE [B] FALADO EM JAPONÊS LEGENDADO EM CHINÊS Um filme de: Koichi Sakamoto, Ryuta Tazaki 16.45, 21.30 3

BEAT: MAIS DO QUE UM DIZER

HÁ UMA passagem em “Pela Estrada Fora”, do Kerouac, em que os dois com pinchas que estão à boleia, O Dean e o Sal, decidem que a partir desse troço mudarão não só de tópico como de estilo de conver sa de cada vez que cruzarem um candeeiro, deixando «a mente saltar ao acaso do galho ao pássaro» (Kerouac).

Este método de exercitar a imaginação sempre me fascinou e vim reencontrá-lo aqui, nestes escritos poéticos cheios de surpresas e de curto-circuitos; este teste munho/testamento em forma de cântico devolve-nos essa “indeterminação quân tica”, que julgávamos dissipada no hori zonte da poesia. Aliás, espanta no livro a energia que sustenta um fôlego pouco ha bitual e se aguenta na maior parte destas trezentas e sessenta páginas.

Entretanto, uma das razões porque sempre nos demos bem, às tantas o Luís Filipe Sarmento, motivado pela alegria que lhe é inerente, vaticina: «Deixo os Apocalipses para os apóstolos da Derro ta», o que é corroborado na página 251, onde se grafa: «A alegria é um repelente contra as ditaduras».

Para quem julgue que isto não passa de uma boutade, de um slogan poético, refira-se, está documentado pela neuro -ciência como o sentimento da alegria abre o espaço. Falamos de uma mutação da percepção, evidentemente. E quando se abre o espaço as coisas que nele es tão contidas não se organizam de uma maneira diferente, REORGANIMAM -SE, para usar um dito do pintor Roberto Matta, significando que a alteração que se introduziu aí na relação entre o espaço e as figuras não é apenas de nível sintáctico e antes supõe uma translacção simbiótica ou uma plasticidade metamórfica: «E ao espelho vi Kafka no berço de Dante».

Daí que poucas páginas depois de nos ter falado da alegria, defenda o Sarmento: «O caos é a fonte poética da sublevação». Sim, o caos REORGANIMADO pela ale gria que lhe dá a chave, uma pauta.

Este livro, escrito aos 64, 65 anos, na leitura mais linear que dele se tenha, tece uma homenagem aos ícones literários de uma geração - o Ginsberg, o Kerouac, o Ferlinghetti, a Diana de Prima, o Gregory Corso, o William Carlos Williams e o Jack Hirschman (com quem o Luís Filipe pri vou), sendo cada um deles o motor dos di ferentes capítulos – , os quais, mais do que remeterem para as descobertas da sua ju venília aparecem como expoentes de uma linhagem que, muito para além do seu mo dismo epocal, imprimiram certas práticas

de escrita e de vida que continuam a ser pregnantes para tantos.

Contudo, a densidade de “Beat”, com os vários estratos discursivos que se alter nam e dialogam, polifonicamente, permite dilucidar outra leitura que é a do livro ser igualmente, como quem não quer a coisa, um ensaio sobre o tempo e a tensão que nasce das suas polarizações: «Tudo o que nos separa do dia seguinte é composto de ilusão e de desconfiança, de crença e luta infinita. Recuso as leis do manicómio. E o dia seguinte chega com diferentes repeti ções de expectativa» (pág.151)

Neste livro celebra-se a escrita, preci samente como um acto de luta contra a ma téria temporal, colocando-a em contramão e obrigando o Tempo a situar-se fora de si, em novas transparências que originam po

ros no seu tecido; a pulsão poética instaura no Tempo esse gesto detonador que traz «a surpresa do minuto seguinte».

Levar o Tempo a surpreender-se a si mes mo é, em LFS, a luta contra o destino, o que gera inclusive o fantástico paradoxo descrito na pág. 198: «Escrever é ter o instinto do infi nito, do inacabável (…) é o que nunca acaba (…) Quando se acaba continua-se a escrever na imaginação dos outros».

Bela vingança ontológica que subtrai ao Tempo os seus trunfos.

Creio surpreender outro motivo para que este “Beat” nos gratifique: tudo o que a geração beat nos ensinou - a imaginação que se gemina com a responsabilidade (numa perspectiva salvífica), os valores da dignidade do inaparente; a consonân cia entre a vida e a arte, num acordo entre a ética e a estética - isso que hoje se en sombra, em risco de dissipar-se, realça-se neste “Beat” com um inescapável furor político, o que o torna, além de contin gente, necessário.

É um livro híbrido, como diz o autor, e de tal modo que a sua prefaciadora, Graça Capinha, o lê como “uma autobiografiapoema-ensaio-testemunho-panfleto” e contém, nos seus cerca de 500 fragmentos de prosa poética, o pulsar de uma geração; a que apanhou de chofre o 25 de Abril à saída da adolescência ou nas primícias de ser adulto, e que mergulhou nessa latejante simbiose (a que conjugava os surrealistas, os poetas beats, a pop arte e o pensamento libertário).

Uma geração de excessos, embora, uma das coisas que me agrada no livro, Sarmento não faça disso heroicidade, na vegando pelo contrário numa margem ambivalente, que tanto sagra as euforias conquistadas (ao amorfo país que saía do fascismo) como critica algumas toxidades.

Este livro alegra-nos, além disso, por motivos pessoais. Diz o Luís Filipe: «A chegar aos sessenta e cinco anos de idade e ainda estou convencido de que só agora percorri metade do meu caminho», o que é muito animador.

Refira-se ainda um último aspecto do livro, as golfadas de humor que às vezes surpreendem o leitor e que o agarram. Demos dois exemplos: «Quando estou vestido questiono o espírito. Quando estou nu não há uma única oração que me eleve»; «O que resta é esse sentido abissal e cortante do humor, ferindo a paisagem repleta de homens de joelhos, em busca de uma eternidade ajardinada».

O resto é o amor que também ganha cidadania no livro: «Ganhámos a pele e friccionámo-la até o labor do fogo».

vozes 15 quinta-feira 17.11.2022 www.hojemacau.com.mo
diário de próspero António Cabrita
Neste livro celebra-se a escrita, precisamente como um acto de luta contra a matéria temporal, colocando-a em contramão e obrigando o Tempo a situar-se fora de si, em novas transparências que originam poros no seu tecido

NATO INCIDENTE NA POLÓNIA CAUSADO POR MÍSSIL UCRANIANO

Osecretário-geral da Organiza ção do Tratado do Atlântico Norte (NATO), Jens Stoltenberg, disse ontem que a explosão que matou duas pessoas na Polónia “foi provavelmente causada” por um míssil ucraniano, mas ressalvou que “não é culpa da Ucrânia”.

“A nossa análise preliminar sugere que o incidente foi prova velmente causado por um míssil de defesa aérea ucraniano disparado para defender o território ucraniano contra ataques de mísseis de cru zeiro russos, mas deixem-me ser claro, isto não é culpa da Ucrânia”, afirmou Jens Stoltenberg.

Falando em conferência de imprensa em Bruxelas após ter pre sidido a uma reunião do Conselho do Atlântico Norte para discutir a explosão de terça-feira na Polónia, perto da fronteira com a Ucrânia, o líder da Aliança Atlântica vincou: “A Rússia tem a responsabilidade última, uma vez que continua a sua guerra ilegal contra a Ucrânia”.

De acordo com Jens Stolten berg, “está em curso uma investi gação sobre este incidente”, mas até ao momento não há “qualquer indicação de que este tenha sido o resultado de um ataque deliberado”.

“E não temos qualquer indi cação de que a Rússia esteja a preparar acções militares ofensi vas contra a NATO”, concluiu o secretário-geral da organização.

O Presidente polaco, Andrzej Duda, admitiu ontem que o míssil que matou duas pessoas na Polónia, na terça-feira, “tenha sido lançado pela Ucrânia”, mas disse que nada indica que tenha sido um “ataque intencio nal”. Duda declarou que a Polónia não vai invocar o artigo da NATO que prevê consultas entre aliados sempre que esteja ameaçada a “integridade territorial, a independência política ou a segurança” de qualquer dos Estados -membros da Aliança Atlântica.

Gás debaixo de fogo

Aconsultora Fitch Solu tions considerou ontem que a violência no norte de Moçambique vai fazer com que o número de refugiados internos continue a aumentar, mantendo a tensão social na região elevada e ameaça desenvolvimento do gás.

“Acreditamos que o número de deslocados interno em Mo çambique vai continuar a aumen tar nos próximos trimestres, com a violência a continuar, levando a uma sobrecarga para as cidades vizinhas e mantendo elevados os riscos de tensões sociais e de instabilidade”, escrevem os analistas desta consultora detida pelos mesmos donos da agência de notação financeira Fitch Ratings.

Os dados mais recentes do ga binete das Nações Unidas para os Assuntos Humanitários apontam para uma significativa subida do número de pessoas deslocadas internamente, que passou de 172 mil em Abril de 2020 para 945 mil em Junho deste ano, em resultado da violência que tem afectado a região mais a norte do país, e onde estão as grandes reservas de gás que Moçambique encara como fundamentais para alicerçar o crescimento e o desenvolvimento económico.

A insurgência armada em Moçambique, aponta a Fitch Solu tions na análise enviada aos inves

tidores e a que a Lusa teve acesso, “vai continuar em elevados níveis de actividade por parte dos mili tantes islâmicos e vai continuar a ser uma das principais ameaças de segurança ao desenvolvimento do sector do gás natural liquefeito na província de Cabo Delgado”. Na análise dos mais recentes desenvolvimentos no sector do gás natural em Moçambique, a Fitch Solutions escreve que a italiana Eni já começou a ex portar gás do país, tendo levado a sua primeira carga em 13 de Novembro, mas salienta que “as suas operações na plataforma flutuante ao largo da costa do país não foram afectadas pelas actividades dos militantes”.

A insurgência armada em Moçambique, aponta a Fitch Solutions (...) “vai continuar em elevados níveis de actividade por parte dos militantes islâmicos e vai continuar a ser uma das principais ameaças de segurança ao desenvolvimento do sector do gás”

A ExxonMobil, por seu turno, “ainda não actualizou o calendário para a Decisão Final de Investi mento, o que reflecte a fraca situa ção de segurança do país”, mas ain da assim a Fitch Solutions antevê que a petrolífera norte-americana decida no próximo ano.

“A incerteza sobre os calen dários da ExxonMobil e da Tota lEnergies é um risco descendente para as nossas perspectivas de crescimento de Moçambique a médio e longo prazo, já que o rei nício dos trabalhos pode pesar no desenvolvimento do setor do gás natural”, concluem os analistas.

Em guerra

A província de Cabo Delgado enfrenta há cinco anos uma insurgência armada promovida por rebeldes, com alguns ataques reclamados pelo grupo extremis ta Estado Islâmico.

A insurgência levou a uma resposta militar desde há um ano com apoio do Ruanda e da SADC, libertando distritos junto aos projectos de gás, mas surgi ram novas vagas de ataques a sul da região e na vizinha província de Nampula.

Em cinco anos, o conflito já fez um milhão de deslocados, de acordo com o Alto Comissariado das Nações Unidas para os Re fugiados (ACNUR), e cerca de 4.000 mortes, segundo o projecto de registo de conflitos ACLED.

COVID-19 / CANTÃO MORADORES CONFRONTAM FORÇAS POLICIAIS

GRUPOS

de moradores em Cantão, uma das maiores cidades da China, escaparam on tem ao bloqueio dos seus bairros, imposto no âmbito da estratégia de ‘zero casos’ de covid-19, e entra ram em confrontos com a polícia.

As imagens, difundidas pela cadeia televisiva britânica BBC, mostram moradores a derrubar um veículo da polícia e barreiras colo cadas em torno do seu condomínio. A polícia de choque foi, entretanto, enviada para aquela área.

Cantão, capital da província de Guangdong, enfrenta o maior surto de covid-19 desde o início da pandemia.

A China insiste na política de ‘zero casos’ de covid-19, que inclui o bloqueio de bairros, distritos e cidades inteiras, e o isolamento de casos positivos e contactos directos em instalações designadas.

As tensões estão a aumentar no distrito de Haizhu, que está sob um bloqueio altamente restritivo. A área é o lar de muitos trabalhadores migrantes, oriundos de zonas rurais pobres. Os trabalhadores reclama ram de não estarem a ser pagos por não puderem comparecer ao trabalho e da escassez de alimentos e do aumento dos preços, devido às medidas de prevenção epidémica.

Por várias noites, alguns mo radores entraram em confrontos com agentes da polícia. A raiva de repente explodiu nas ruas de Cantão na noite de segunda-feira, com um acto de desafio em massa.

Rumores de que as empresas que fazem testes estão a falsificar resultados de PCR para aumentar artificialmente o número de infec ções, a fim de ganhar mais dinheiro, motivaram os desacatos, segundo a BBC.

quinta-feira 17.11.2022
felizes;
Eurípedes PALAVRA DO DIA PUB.
“Sede
os amigos desaparecem quando somos infelizes.’’
NATO AFP/SCANPIX

Turn static files into dynamic content formats.

Create a flipbook
Issuu converts static files into: digital portfolios, online yearbooks, online catalogs, digital photo albums and more. Sign up and create your flipbook.
Hoje Macau 17 NOVEMBRO 2022 #5133 by Jornal Hoje Macau - Issuu