hojemacau

Os testes na fronteira para quem vem do Interior da China deixaram de ser obrigatórios e o número de visitantes disparou para 40 mil, o segundo maior registo num ano. As multidões regressaram ao centro histórico de Macau, num prenúncio daquilo que poderá vir a ser o cenário do Ano Novo Lunar. PÁGINA 7
Alexis Tam deixou o cargo de chefe da Delegação Económica e Comercial de Macau em Lisboa após três anos de actividade. Tanto a Fundação Casa de Macau como a Casa de Macau em Lisboa falam de relações cordiais e atenção ao trabalho desenvolvido, mas Mário Matos dos Santos, dirigente da Fundação, espera maior ligação com a nova líder, Lúcia Abrantes dos Santos
SUCEDEU a O Tin Lin na chefia da Delegação Económica e Comercial de Macau em Lisboa, bem como no papel de representante da RAEM junto da União Europeia (UE), em Dezembro de 2019, assim que Ho Iat Seng tomou posse como Chefe do Executivo. Desde então, Alexis Tam desempenhou o cargo de forma discreta, com algumas aparições públicas e poucas declarações. Agora que foi anunciada a sua reforma, sendo substituído por Lúcia Abrantes dos Santos, até então sua adjunta, uma das entidades associativas que representam a RAEM em Portugal, a Fundação Casa de Macau (FCM), espera mais proximidade com a nova representante.
“Não havia muitas manifestações directas e com Alexis Tam não tivemos as relações funcionais que existiam antes, tal como a
Alexis Tam “também deu um forte contributo no estreitamento das relações entre a Casa de Macau em Portugal e os estudantes bolseiros da RAEM que estudam em Portugal, do qual resultou um protocolo com a associação que representa esses estudantes, assinado em 2022”
realização de eventos na Delegação e colaboração nesse sentido», começou por dizer Mário Matos dos Santes, dirigente da FCM, ao HM. “A Delegação tem mantido o seu papel, que é ter uma posição neutra em relação aos eventos que vão sucedendo. Estamos convencidos de que, com a doutora Lúcia, teremos um diálogo mais aberto e funcional”, acrescentou.
Mário Matos dos Santos espera “poder desenvolver mais” as relações com a Delegação. “Sempre tivemos boas relações e temos com a pessoa que o vai substituir, e esperamos estabelecer uma relação muito pró-activa e continuar essa ligação. Espero uma pessoa mais aberta [na ligação com as entidades em Lisboa].”
Ao longo do período em que liderou a delegação, Alexis Tam visitou “duas ou três vezes” a sede da FCM, na zona do Príncipe Real, em Lisboa. “Deu um apoio formal,
“A Delegação tem mantido o seu papel, que é ter uma posição neutra em relação aos eventos que vão sucedendo. Estamos convencidos de que, com a doutora Lúcia, teremos um diálogo mais aberto e funcional.”
MÁRIO MATOS DOS SANTOS FUNDAÇÃO CASA DE MACAU
que era o esperado, e não passou disso. Tivemos relações de muita cordialidade.”
Da parte da Casa de Macau em Lisboa, que pertence ao universo da FCM, o balanço da presença de Alexis Tam em Portugal é positivo. “Desde o primeiro mandato que demonstrou uma grande disponibilidade de cooperação institucional com a Casa de Macau em Portugal, o que muito nos honrou.”
A entidade aponta que a pandemia não ajudou a estreitar laços. “Naturalmente, que a pandemia da covid-19 limitou fortemente essa cooperação no terreno nos dois primeiros anos do seu mandato, mas no final de 2021, quando em Portugal as restrições foram sendo levantadas, tivemos o prazer de receber o Dr. Alexis Tam nas instalações da Casa de Macau. Esse encontro possibilitou a identificação de objectivos comuns entre as duas instituições e oportunidades de parceria”.
Desse contacto resultou, por exemplo, “uma maior divulgação entre os nossos associados das formalidades legais que muitos prestam junto da Delegação, como é o caso da Prova de Vida anual”.
Além disso, Alexis Tam “também deu um forte contributo no estreitamento das relações entre a Casa de Macau em Portugal e os estudantes bolseiros da RAEM que estudam em Portugal, do qual resultou um protocolo com a associação que representa esses estudantes, assinado em 2022”, adianta a direcção da Casa de Macau em Portugal.
O percurso de Alexis Tam na Função Pública de Macau foi longo, traçado ao longo de décadas, destacando-se como uma das figuras que fez parte da fornada de dirigentes formados na década de 90. Depois de ter sido assessor do Chefe do Executivo, Chui Sai On, durante vários anos, Alexis Tam passou a secretário para os Assuntos Sociais e Cultura em 2014, substituindo Cheong U, que havia dirigido a secretaria durante cinco anos.
Do seu mandato como secretário registam-se algumas polémicas, como o caso do convite ao premiado arquitecto português Siza Vieira para recuperar e renovar o antigo edifício do Hotel Estoril, que foi depois retirado em prol de um concurso público para seleccionar um projecto de arquitectura.
Siza Vieira nunca se pronunciou sobre o projecto falhado, mas o arquitecto Carlos Castanheira, que com ele trabalha, assumiu numa entrevista ao HM, em De-
zembro de 2020, que a retirada do convite foi um gesto “extremamente deselegante”.
Ho Iat Seng não pareceu satisfeito com os gastos da tutela dos Assuntos Sociais e Cultura e afastou Alexis Tam do Governo assim que tomou posse como Chefe do Executivo, nomeando-o para Lisboa. Numa ocasião pública, chegou a falar do gasto de 35 por cento do orçamento anual do Executivo só nesta área, que abrange a cultura, a saúde, a educação e o desporto, “pelo menos 30 mil milhões de patacas”. Além disso, Ho Iat Seng lembrou que a secretaria foi alvo de “várias queixas do público”, factor que para o Chefe do Executivo constituiu “um problema”.
Em Lisboa, Alexis Tam ajudou os estudantes da RAEM em tempos de pandemia, quando as viagens eram mais difíceis do que o habitual e se verificavam problemas logísticos. Mas o seu mandato ficou marcado pelo fim da representação da Direcção dos Serviços de Turismo em Portugal, levando ao encerramento da Livraria, em 2021.
A medida deveu-se a cortes orçamentais relacionados, mais uma vez, com a pandemia, mas teve como grande consequência a ausência de livros editados em Macau na Feira do Livro de Lisboa, evento que todos os anos acontece no Parque Eduardo VII.
À data, a delegação adiantou ao HM que estava a “equacionar a futura participação no evento”, mesmo sem planos para reabrir a livraria. No entanto, Macau não esteve representada oficialmente na Feira do Livro do ano passado.
Mas Alexis Tam não marcou a sua presença apenas na capital portuguesa. Prova disso é a atribuição, da parte da Câmara Municipal do Porto, da Medalha Municipal de Mérito pelo apoio dado no período da pandemia.
Numa das raras vezes em que falou com jornalistas na qualidade de chefe da delegação, Alexis Tam comentou ao Jornal Tribuna de Macau, em Julho do ano passado, sobre o seu trabalho em Lisboa. “No fundo, a delegação é praticamente um serviço ou uma representação do governo da RAEM, ganhou um
Nascido em Julho de 1962, no Myanmar, Alexis Tam estudou na China, em Portugal e na Escócia. Em 2014, por ocasião do Dia de Portugal, de Camões e das Comunidades Portuguesas, foi condecorado com a Ordem do Infante D. Henrique
estatuto muito especial. De certa forma, funciona como uma embaixada em Portugal e por isso estou a exercer as funções de diplomata e participo em muitas acções de diplomacia.”
Na mesma entrevista, o dirigente admitiu “não ter dificuldades” no desempenho do cargo, “só mesmo a pandemia e a recessão económica”, que levou ao corte do orçamento destinado à delegação. “Uma das competências nas quais ainda nos vamos focar é em mais acções de promoção turística. Mas, como em Macau ainda está tudo fechado e não está para abrir de imediato, o Governo ainda não quer fazer actividades de promoção turística”, disse, na altura.
Além da medalha atribuída pela cidade do Porto, Alexis Tam recebeu ainda, quando era secretário, o título de Doutor Honoris Causa pela Universidade de Lisboa, como forma de homenagem e reconhecimento “de uma figura marcante e inspiradora para o desenvolvimento da educação e, em especial, para a promoção do ensino da língua e da cultura portuguesa em Macau e na China”.
Nascido em Julho de 1962, no Myanmar, Alexis Tam estudou na China, em Portugal e na Escócia. Em 2014, por ocasião do Dia de Portugal, de Camões e das Comunidades Portuguesas, foi condecorado com a Ordem do Infante D. Henrique.
Por sua vez, Lúcia Abrantes dos Santos chegou a ser assessora de Raimundo do Rosário, secretário para os Transportes e Obras Públicas, a partir de 2014, para assumir, em Novembro de 2019, o cargo de adjunta de Alexis Tam. Andreia Sofia Silva
Afalta da palavra greve ou de quaisquer directrizes para a sua realização por parte dos futuros sindicatos é a grande ausência da proposta de lei sindical já admitida no hemiciclo. Desta forma, os sindicatos têm apenas como competências “tratar e negociar as matérias relativas aos conflitos laborais individuais em representação dos seus associados”, bem como “apresentar aos empregadores opiniões sobre as condições laborais, segurança e saúde ocupacional, entre outras matérias, em representação dos seus associados”. Os sindicatos poderão ainda “pronunciar-se sobre matérias de legislação laboral, providenciar as medidas de apoio à promoção do emprego, realizar acções de formação profissional, prestar serviços sociais” ou ainda “exercer as demais competências previstas nos diplomas legais”.
A proposta de lei não deixa de lembrar que “a realização de actividades pelo sindicato tem de estar de acordo com a lei e com as suas finalidades, não podendo estas colocar em perigo a ordem e saúde públicas da RAEM”.
O Governo, através da Direcção dos Serviços para os Assuntos Laborais (DSAL), terá conhecimento de todas as informações dos sindicatos, uma vez que estes têm, em Abril de cada ano, de entregar documentos como a lista dos titulares dos órgãos, de associados e as contas anuais auditadas por contabilistas.
Destaque ainda para o facto de os cargos de chefia nos sindicatos só poderem ser exercidos por pessoas que preencham determinados requisitos. Deve ser verificada a idoneidade dos mesmos tendo em conta se a pessoa em questão “desempenha ou não funções de membro do parlamento ou assembleia legislativa de um Estado estrangeiro”, ou ainda se foi condenado “por decisão transitada em julgado” a
Já foi admitida na Assembleia Legislativa a proposta de lei sindical, mas em todo o documento não consta a palavra greve. Aos futuros sindicatos compete apenas o tratamento e a negociação de questões laborais, promoção do emprego ou a cedência de opiniões do foro legislativo
uma pena de prisão no âmbito da lei da segurança nacional.
A proposta de lei assegura que os trabalhadores com actividades sindicais podem justificar as faltas no emprego, além de assegurar protecção a todos os trabalhadores que sejam prejudicados por terem esta actividade.
Caso o empregador proíba, despromova ou despeça um funcionário por este pertencer a um sindicato ou desempenhar actividades sindicais pode ser punido com uma multa que vai das 20 às 50 mil patacas “por cada pessoa em relação à qual se verifique a infracção”. As multas, revertidas para o Fundo de Segurança Social, devem ser pagas no prazo de 15 dias. A proposta de lei prevê também outras infracções administrativas aplicadas aos sindicatos que vão das cinco às 50 mil patacas.
A proposta de lei não deixa de lembrar que “a realização de actividades pelo sindicato tem de estar de acordo com a lei e com as suas finalidades, não podendo estas colocar em perigo a ordem e saúde públicas da RAEM”
Caso os futuros sindicatos cometam infracções, podem ficar sem apoios financeiros ou benefícios “concedidos por serviços e entidades públicas com a duração de um ou dois anos”.
Relativamente às associações de cariz laboral já existentes na RAEM, podem requerer junto da DSAL a transformação para sindicato no prazo de três anos após a entrada em vigor da da lei. De frisar que não há ainda uma data para que a proposta de lei seja votada na generalidade pelos deputados. Andreia Sofia Silva
OS farmacêuticos de medicina ocidental e tradicional chinesa, bem como os ajudantes técnicos de farmácia, acreditados pelas autoridades de Macau, poderão vir a exercer na Zona de Cooperação Aprofundada entre Guangdong e Macau em Hengqin. A informação consta numa resposta de Ng Kuok Leong, presidente substituto do Instituto para a Supervisão e Administração Financeira, a uma interpelação escrita da deputada Wong Kit Cheng. “Os serviços competentes da Zona de Cooperação Aprofundada estão a estudar a possibilidade dos farmacêuticos, farmacêu-
ticos de medicina tradicional chinesa e ajudantes técnicos de farmácia com acreditação profissional de Macau exercerem a profissão na Zona, além de se garantir a regulamentação
da actividade de formação dos respectivos profissionais”, pode ler-se. Relativamente ao Parque Científico e Industrial de Medicina Tradicional Chinesa entre Guangdong e Macau, há neste
momento três projectos “na fase de conclusão da aceitação”. São eles o Ruilian Wellness Resort, um projecto abrangente que mistura cuidados de saúde com o conceito de resort temático, o projecto do Museu de Tecnologia e Criatividade de medicina tradicional chinesa e o projecto de criação de uma rua cultural temática deste tipo de medicina virado para o turismo de saúde. Ng Kuok Leong deixa ainda a promessa do planeamento e organização “de visitas de familiarização de operadores turísticos de Macau e Hengqin para desenvolver mais roteiros turísticos”.
O Governo prolongou por mais seis meses, até 30 de Julho de 2023, o prazo de candidatura ao “plano de bonificação de juros de créditos bancários para aliviar o impacto negativo da epidemia nas empresas em 2022”. O anúncio foi feito ontem, através de um comunicado da Direcção dos Serviços de Economia e Desenvolvimento Tecnológico (DSEDT). A medida foi justificada com a necessidade de “ajudar as empresas na resolução das dificuldades finan-
ceiras e na redução dos custos de financiamento após a epidemia”. Para se candidatarem a este apoio, as empresas têm de ser exploradas por residentes ou terem participações superiores a 50 por cento do capital social detidas por residentes de Macau. O limite máximo do montante do crédito é de cinco milhões de patacas, com um prazo máximo da bonificação de juros de dois anos e uma taxa anual de bonificação até quatro por cento.
Criação de rotas aéreas para países de língua portuguesa depende da lógica comercial
OGoverno acredita que com o fim das restrições da pandemia vão ser estabelecidas mais rotas aéreas comerciais. No entanto, a existência de ligações com os países de língua portuguesa vai ter sempre de obedecer à lógica comercial. A divulgação foi feita por Simon Chan, presidente da Autoridade de Aviação Civil (AACM), na resposta a uma interpelação escrita ao deputado Ma Io Fong.
Apesar de nos últimos três anos o Executivo ter fechado o território ao mundo, à excepção do Interior, Simon Chan afirma que o “Governo da RAEM tem vindo a adoptar uma atitude mais aberta quanto à política de transporte aéreo”.
No mesmo sentido, o presidente da AACM escreveu ter a esperança de que com “o fim das políticas de prevenção da pandemia” e “com base na cooperação mútua de ligação de voos” sejam desenvolvidas no território “rotas de curto, médio e longo curso”, que vão aumentar o número de destinos para os quais se pode voar a partir de Macau.
Na interpelação, Ma Io Fong questionava a razão de Macau não ter rotas directas para os países de língua portuguesa, apesar de ter como política ser uma plataforma entre a China e esses países. O deputado apontou também que as rotas existentes têm principalmente como destino o Interior e o sudeste asiático.
Em resposta a esta pergunta, Simon Chan reconheceu que as novas ligações só surgirão como consequência “da procura do mercado” e que haverá sempre uma “avaliação e consideração no âmbito comercial e operacional” no lançamento de qualquer ligação.
A Air Macau detém até Novembro deste ano o monopólio exclusivo do serviço público de transporte aéreo de passageiros, bagagem, carga, correio e encomendas postais.
Em 2020, o Governo anunciou planos para alterar o regime actual, mas devido à pandemia optou por renovar por mais três ano o monopólio. A maior parte das ligações da Air Macau têm como destino o Interior. J.S.F.
ENSINO AULAS REGRESSAM SEM RESERVAS E SEM TURMAS SUSPENSASO regresso às aulas depois da pausa de Natal e Ano Novo decorreu com normalidade. O Governo adianta que não foram suspensas aulas devido à infecção de alunos ou docentes e que a taxa de assiduidade esteve dentro do normal. Na Escola Portuguesa de Macau apenas dois alunos faltaram por estarem infectados com covid-19
Àmedida que a sociedade se reajusta ao que se assemelha à normalidade pré-pandémica, também as escolas voltam a funcionar de uma forma quase regular. Prova disso foi a forma aparentemente normal como decorreu ontem o regresso às aulas nas escolas de Macau. A Direcção dos Serviços de Educação e de Desenvolvimento da Juventude (DSEDJ) revelou que não houve aulas suspensas ou afectadas pela pandemia no primeiro dia de escola desde o alívio das restrições.
O director da DSEDJ, Kong Chi Meng, visitou alguns estabelecimentos de ensino para se inteirar da forma como o recomeço das aulas estava a decorrer. Depois de falar com professores e encarregados de educação, Kong Chi Meng interrompeu algumas aulas para, segundo um comunicado da DSEDJ, “encorajar os alunos a se aplicarem nos estudos, mas também a tomarem atenção à condição física depois da recuperação da infecção de covid-19”.
Em declarações citadas pelo Governo, o director da Escola Fu Luen afirmou que a assiduidade dos estudantes no primeiro dia de aulas foi normal e que a escola preparou medidas de reajuste de acordo com as orientações da DSEDJ.
O Governo declarou também que alguns encarregados de educação afirmaram que os seus filhos tiveram covid-19 durante as férias, mas que recuperaram, e que o facto de terem sido vacinados atenuou os sintomas. Os pais confessaram também que os filhos demonstraram muita vontade de voltar à escola, depois de um longo período de tempo marcado pelo cancelamento de aulas, confinamentos parciais e lições dadas pela internet.
Também na Escola Portuguesa de Macau (EPM) as aulas retomaram sem sobressaltos. Em declarações à TDM – Rá-
dio Macau, o presidente da EPM Manuel Machado revelou que apenas dois alunos faltaram às aulas por estarem infectados com covid-19 e que apenas se registaram 5 por cento de faltas.
A DSEDJ reajustou as orientações para os estabelecimentos de ensino tendo em conta a nova fase pós-covid zero. Uma das diferenças mais notórias neste regresso às aulas foi o desaparecimento da necessidade de mostrar o código de saúde.
Porém, “docentes e alunos devem, antes de sair de casa, carregar, diariamente, os resultados do teste rápido de antigénio no Código de Saúde (excepto aqueles que tenham sido infectados após 28 de Novembro de 2022), mantendo-se inalterado o critério
“Docentes e alunos devem, antes de sair de casa, carregar, diariamente, os resultados do teste rápido de antigénio no Código de Saúde (excepto aqueles que tenham sido infectados após 28 de Novembro).” DSEDJ
de suspensão das aulas por 5 dias para as turmas com 4 alunos que apresentem resultados positivos no mesmo dia”.
Em relação aos alunos do ensino especial, pré-escolar e ensino primário, caso manifestem desconforto ou sintomas de covid-19 terão faltas justificadas. Outra medida diz respeito às aulas de educação física até depois do período do Ano Novo Chinês, que serão essencialmente teóricas de forma a poupar os alunos a esforços físicos. Também as competições desportivas escolares regressam apenas depois do Ano Novo Chinês.
A DSEDJ deu ainda indicações às escolas para prestarem maior atenção a sinais de deterioração da saúde mental dos alunos e prestar apoio aos estudantes que necessitem. João Luz
PUB.
AAA翻譯有限公司
Sede: Rua do Campo, n.º 131, Edifício Ngan Fai, 3.º andar “B”, Macau Registo n.º 52369 / Capital Social: MOP$100.000,00
Para os devidos efeitos se anuncia que, em Assembleia Geral Extraordinária realizada em 28 de Novembro de 2022, foi deliberado por unanimidade dos sócios dissolver a sociedade por quotas de responsabilidade limitada em epígrafe, considerando-se as contas finais aprovadas e encerradas e, assim, encerrada a liquidação, a partir da mesma data, tendo os respectivos registos sido efectuados em 30 de Novembro de 2022, mediante a Ap.105 de 30/11/2022, considerando-se assim extinta a mesma sociedade com esses registos.
Macau, 10 de Janeiro de 2023.
O Administrador - Liquidatário
DEZANOVE bancas de comerciantes foram consumidas por um violento incêndio que deflagrou na segunda-feira ao final da tarde no Fai Chi Kei, e que obrigou à retirada de 80 pessoas. Segundo a informação veiculada pelas autoridades, as chamas na Avenida do General Castelo Branco causaram ferimentos ligeiros a uma mulher com 59 anos, que foi transportada para o hospital, devido à inalação de fumo.
De acordo com o relato do Corpo de Bombeiros, citados pelo jornal Ou Mun, o incêndio surgiu por volta das 19h30, numa das bancas de venda. As autoridades foram imediatamente alertadas para a ocorrência por uma pessoa que se encontrava na zona.
Para combater o fogo foram mobilizados para o local 11 veículos e 50 bombeiros, que levaram cerca de 20 minutos para controlar o incêndio, quando este tinha consumido totalmente ou parcialmente 19 das bancas de venda.
De acordo com o responsável pela Corporação de Bombeiros da Areia Preta, Kuok Pan, as investigações preliminares apontam que as chamas tiveram origem num curto-circuito na instalação eléctrica de uma das bancas de vendilhões.
Por sua vez, o Instituto para os Assuntos Municipais esteve no local e disponibilizou tendas temporárias, para alojar os materiais salvos e prestar apoio aos vendedores afectados. As
bancas destruídas vendiam vegetais, frutas e roupa.
O presidente da Associação de Auxílio Mútuo de Vendilhões de Macau, O Cheng Wong, também visitou o local das chamas e apelou às autoridades para assistirem os vendedores.
O IAM disponibilizou tendas temporárias, para alojar os materiais salvos e prestar apoio aos vendedores afectados.
As bancas destruídas vendiam vegetais, frutas e roupa
Com bases em acontecimentos passados, O Cheng Wong afirmou ainda que as perdas não devem ser muito elevadas, porque a capacidade de armazenamento das bancas é limitada, mas que é importante que o IAM consiga garantir que as vendas podem ser retomadas o mais depressa possível, a tempo do Ano Novo Chinês.
O responsável da Associação de Auxílio Mútuo de Vendilhões de Macau explicou ainda que vários comerciantes fizeram encomendas a pensar no Ano Novo Chinês e que nesse período têm uma época de vendas muito importante.
Após o incêndio, com muitos vídeos das chamas a tornarem-se virais nas redes sociais, vários deputados acorreram ao local. Um dos presentes foi Nick Lei, ligado à comunidade de Fujian. Segundo Lei, citado pelo Jornal do Cidadão, é fundamental garantir que os comerciantes podem retomar os negócios o mais depressa possível, principalmente tendo em conta os três anos difíceis que o pequeno comércio enfrentou. Nick Lei destacou também o facto de estarmos próximo do Ano Novo Chinês, uma época festiva de grande facturação.
A concessionária MGM China anunciou ontem a distribuição de um bónus no valor de um salário para os trabalhadores que cumpram determinados requisitos. Segundo as contas apresentadas pela operadora de jogo, o bónus vai ser pago no Ano Novo Chinês e deverá abranger 97 por cento dos trabalhadores. “Tendo acabado de celebrar o nosso 15º aniversário, estamos mais do que gratos aos membros da nossa equipa e à empresa
como um todo, por trabalharmos juntos, de forma solidária”, afirmou Pansy Ho, co-presidente da MGM China. “Estamos entusiasmados por ver a rápida recuperação da indústria do turismo, após o levantamento das restrições nas fronteiras. A MGM está pronta para abraçar as novas oportunidades que se avizinham e continuará a tomar medidas práticas para promover a diversificação económica de Macau”, acrescentou.
O Índice de Preços da Habitação (IPH) entre os meses de Setembro e Novembro foi de 249,8, registando uma quebra ligeira de 0,2 por cento em comparação com os meses de Agosto a Outubro do ano passado. Em termos anuais, o IPH caiu 6,3 por cento em relação a Setembro e Novembro de 2021. Destaca-se que o índice de preços de habitações da Taipa e Coloane e o índice da Península de Macau diminuíram 7,4 e 6,1 por cento, respectivamente. Os dados divulgados
pela Direcção dos Serviços de Estatística e Censos (DSEC) mostram que a maior queda foi verificada nas zonas de Taipa e Coloane, na ordem de 1,2 por cento, quando o índice se cifrou nos 248,1 pontos. Enquanto isso, o IPH relativo à península de Macau foi de 250,2, mantendo-se semelhante aos meses de Agosto a Outubro. Por sua vez, o IPH de casas construídas foi de 267,5, uma quebra de 0,1 por cento, sendo que nas ilhas de Taipa e Coloane caiu 0,8 por cento.
As autoridades detectaram, este domingo, 52 novos casos de covid-19 e seis mortes, quatro homens e duas mulheres com idades compreendidas entre os 61 e os 101 anos. Segundo uma nota do Centro de coordenação e de contingência do novo tipo de coronavírus, estas pessoas tinham um historial de doenças crónicas, sendo que cinco delas não estavam vacinadas contra a covid-19.
Regressam hoje as ligações marítimas entre o Terminal Marítimo da Taipa e o Terminal do Aeroporto Internacional de Bao’an em Shenzhen, dois dias depois do regresso das ligações ao Terminal de Sheung Wan no centro da ilha de Hong Kong. De acordo com uma nota emitida pela Direcção dos Serviços de Assuntos Marítimos e de Água o regresso da ligação ao aeroporto de Shenzhen vem em linha com a recuperação de transportes transfronteiriços e oferece mais opções de viagem na Grande Baía.
QUEM passou pela zona das Ruínas de São Paulo e pelo centro da cidade no domingo teve um vislumbre do passado de Macau antes da pandemia da covid-19 se alastrar pelo mundo. Multidões a arrastarem-se pelas ruas, a entrar e sair de lojas, empurrando malas e tirando selfies sem fim no primeiro dia em que deixou de ser obrigatório apresentar resultado negativo num teste de ácido nucleico para entrar em Macau vindo da China.
No primeiro dia sem restrições fronteiriças entraram em Macau 39.643 visitantes. Dados divulgados ontem pelo Corpo de Polícia de Segurança Pública de Macau (CPSP) mos-
tram que mais de metade dos turistas (21.010) entraram no território pelo posto fronteiriço das Portas do Cerco. A segunda fronteira mais concorrida foi a de Hengqin, por onde entraram 7.558 turistas.
Outro facto significativo que demonstra o retorno gradual à normalidade, foi a reposição das ligações marítimas entre Macau e
a ilha de Hong Kong. No domingo entraram no território através do posto fronteiriço do Terminal Marítimo da Taipa 2.157 turistas.
No cômputo geral, domingo foi um dia de intensa actividade nas fronteiras de Macau, com o registo de 401.676 entradas e saídas de visitantes, residentes de Macau e portadores de blue card.
A Direcção dos Serviços de Turismo (DST) sublinhou ontem o esforço de promoção de Macau enquanto destino turístico e relacionou o elevado número de visitantes que visitaram o território no domingo com o lançamento de promoções e descontos para turistas. O or-
ganismo liderado por Helena de Senna Fernandes destaca que o número de turistas de domingo ficou perto do dia de maior fluxo turístico registado no ano passado (41.000 entradas).
Além disso, tendo em conta as actividades programadas para o Ano Novo Chinês, a DST prevê que “o número de turistas continue a aumentar”.
Em termos estatísticos, o número de turistas que entraram em Macau no domingo foi 153,5 por cento superior à média diária registada em 2022. Neste capítulo, destaque para o aumento de visitantes oriundos de Hong Kong, que subiram 298,6 por cento em relação à média diária de 2022. João Luz
O Comissariado do Ministério dos Negócios Estrangeiros em Macau anunciou ontem a suspensão da medida que obrigava estrangeiros a permanecer na RAEM durante 28 dias seguidos antes de entrar no Interior da China. A medida, que foi anunciada na sexta-feira passada e entrou em vigor no domingo, é descrita como uma “optimização e melhoria da política de vistos”, com o objectivo de “facilitar o intercâmbio de pessoas entre a RAEM e o Interior da China”. Outro requisito que deixa de ser exigido, é a apresentação de documentação que comprove que o requerente de visto tem a vacinação completa contra a covid-19.
O Japão e a Alemanha vão passar a exigir testes à entrada dos países para quem viaja de Macau. Segundo o portal Macau News Agency, o Ministério dos Negócios Estrangeiros do Japão decretou que, a partir de quinta-feira, quem viaja de Macau deve apresentar o certificado de teste negativo à entrada do país feito nas últimas 72 horas. Será ainda feito um novo teste à chegada, sendo que estas medidas não se aplicam a quem viaja de Hong Kong. As autoridades japonesas introduziram requisitos de entrada a viajantes da China no dia 30 de Dezembro. No caso da Alemanha, todos os viajantes com mais de 12 anos devem apresentar o certificado de teste negativo à covid-19 com um prazo de validade de 48 horas. Esta medida abrange também os viajantes em trânsito e quem, nos últimos dez dias, tenha estado em Macau e na China, vigorando até ao dia 7 de Abril.
O CONCEITO de Li é um dos mais difíceis de explicitar e tornar plenamente inteligível ao leitor ocidental. Traduzido por padrão, princípio organizador, propriedade, regra, razão, etc., Li refere a organização interna do mundo e dos seres, invisível, imanente e em constante mutação.
Li é o “fio vermelho” que percorre a história do pensamento chinês. É a rede de veias que dá vida, nutre e organiza. Li é propriedade do Dao, é inerente à Via, é a sua definição e orientação. Mas o Li não é estático, está em constante mutação. Inerente ao Dao, confere-lhe uma ordem dinâmica.
Li é, ainda de acordo com Anne Cheng, a forma de encarar a filosofia chinesa pelo seu próprio coração. Tratar o conceito de Li é dotar de validade o discurso filosófico chinês. Mais do que verdade, Li é sentido. “É na Via que os seres se ordenam e ganham sentido, o sentido do próprio Li. (...) Todo o esforço do pensamento chinês passa por encontrar as chaves da inteligibilidade do mundo, de modo a permitir uma acção humana ‘eficaz’, ou seja em harmonia com os processos da natureza”.
A harmonia com o princípio normativo, com a Via, com o Céu e a Terra, reflecte-se na pessoa de bem. O pensamento da pessoa de bem está em conformidade com a Via e a ligação é feita através de comunhão com o Li, a rede inerente ao dao. Assim, o padrão (理Li) da Via é a inerência que dota de sentido o pensamento e a acção em conformidade com a natureza.
“O padrão pode ser concebido como uma rede de veias; divergem umas das outras e revelam-se, cada uma delas, quando entendidas; por outro lado, podemos continuar indefinidamente a encontrar distinções entre elas cada vez mais finas, mais subtis, que nos levam a perceber como, em cada indivíduo ou em parte dele, se comporta, em si, o Li, o elemento que distingue cada um”. O Li é a propriedade da unicidade.
A.C. Graham vê no Li “o arranjo regular das partes num todo estruturado; das coisas num cosmo ordenado; do pensamento no discurso, como se se tratasse de um sistema de veias”.
Etimologicamente remete para o conceito dado pelo Shuowen jiezi 说文 解字, um dicionário elaborado na dinastia Han por Shu Xen (許慎), que designa a origem das veias naturais de jade: “Por mais duro que seja o jade, basta encontrar o trabalho do Li, os seus estratos, as suas camadas, para uma peça ser feita sem dificuldade.”
O Li mantém uma relação estreita com outros conceitos, não menos fundamentais do pensamento chinês, podendo mesmo, em algumas circunstâncias, confundir-se com eles. No entanto, o Li acaba por lhes ser inerente, cada um deles incorpora um Li: é o padrão que os edifica, a sua razão e sentido de ser.
Por outro lado, e não menos importante, é a sua aplicação prática. Mais do que dirigido à compreensão de uma verdade absoluta, o pensamento chinês, e mais concretamente o Li, pretende viabilizar uma prática, pois nunca está separado de uma aplicação integrada no real, balizada por uma ética, enraizada numa moral.
Cheng Yi defende as ideias explanadas na “Prática do Meio” segundo as quais, sendo o decreto do Céu a natureza, é tarefa do homem alcançar o seu destino moral de acordo com a Via. O sábio desenvolve o conceito de Li como princípio normativo, que engloba a totalidade, governando tanto o mundo natural como a sociedade humana, não tendo início nem fim. Todas as coisas vêm à existência através deste padrão (理Li) dito Celeste,sendo a sua tarefa definir a função de cada ser na ordem natural, como forma de assegurar a harmonia moral.
Este padrão mantém-se por si só em todos os tempos e em todos os lugares, no mundo natural e no código ético da vida social. E como podem as pessoas aprender este padrão celeste? Cheng Hao responde que é através da manutenção do coração num estado de integridade e de veneração, enquanto que o seu irmão Cheng Yi defendia que seria através da investigação das coisas, através de um processo em que o padrão seria restaurado e os desejos humanos expulsos. Também aqui, os irmãos Cheng adoptam a teoria dos três níveis da natureza humana de Han Yu. Cheng Yi conclui que (1) o exame cuidado do padrão, (2) o preenchimento da natureza humana e (3) a realização da vocação, todos os três devem ser efectuados em conjunto.
No que se refere à sua teoria filosófica, Zhu Xi inclui elementos das teorias do Padrão Supremo, de Zhou Dunyi e
de Cheng Yi. Zhu defendia que o Padrão Supremo era constituído pelo padrão (理Li) e pelo sopro (qi 气), sendo o primeiro antecedente do último. Assim, o Padrão Supremo é a origem e ao mesmo tempo a síntese de todos os outros princípios do mundo; é um princípio transcendente e perfeito, enquanto que os outros são princípios concretos que regulam objectos concretos do mundo, confundindo-se com o conceito de Céu.
À semelhança do que ocorre com todos os outros seres, também os homens são manifestações do padrão. Como a natureza humana vem directamente do Padrão Celeste, é perfeita. Contudo, com o relacionamento com outros seres, também a “natureza humana pelo temperamento”, como Zhu Xi define, pode transformar-se em má ou boa. A inspiração menciana é aqui clara.
De salientar é ainda a característica dinâmica do padrão (理Li). O sentido e a sua procura não são estáticos ou teóricos. É através dele que os processos naturais, regidos pelo Céu, se relacionam em perpétua mutação. Assim, as linhas estruturantes do Li são também as linhas de transformação de todos os fenómenos naturais. O sentido do princípio regulador não pode ser concretizado sem que exista movimento e mudança, sem que exista mutação (yi 易).
Para explicar o Li e a sua relação com o dao, Anne Cheng relembra Zhu Xi em que “a palavra dao engloba a totalidade.
O Li representa as inúmeras veias no interior da palavra dao”. Se pensarmos numa árvore, esta é o dao, e as linhas que a compõem, formam e moldam, são as linhas que percorrem o seu interior.”
Zi Dashu cita Zi Zhan e diz: “ Li é o cânone do céu, a norma da terra e o princípio pelo qual o homem rege a sua acção”.
Zi sugere ainda que todas as regras do Li, que governam as relações e os comportamentos humanos, são introduzidas de modo a encaixar, simbolizar, seguir e concordar com os fenómenos e processos naturais. Tudo para equilibrar e edificar as emoções e acções do homem, e consequentemente harmonizá-las com a natureza do Céu e da Terra.
Por outro lado, o Li 理encontra a sua expressão funcional na prática
dos ritos. É aqui que encontramos a aliança com a palavra homófona li 禮, que significa rito/ritual – e que apresentaremos em letra minúscula para distinguir de Li – numa relação intrínseca com a cultura (wén文).
Para Xunzi, as linhas estruturantes representadas pelo Li, que integram a pessoa exemplar na natureza, vêm das linhas de força da sua cultura (wén 文), onde os ritos (li 禮) são a sua expressão por excelência. Nesta perspectiva podemos dizer que o rito (li 禮) é também intrínseco ao próprio universo e às suas nervuras, o padrão (理 Li). Este, revela-se, num sentido quase fotográfico, através do li. A imanência manifesta-se no rito. O rito é a prática da pessoa exemplar, um reflexo da sua natureza e o modo de proceder de acordo com o padrão (理Li)
De acordo com Léon Vendermeersh, o Li, no pensamento antigo chinês, corresponde à ideia de um ordenamento ritual, uma ordem objectiva, visualizável, palpável que obedece a uma concepção teleológica. Há portanto uma conivência entre o Li e o li
Deste modo, o rito (li 禮) representa o costume, as ordens de procedimento, o arranjo das coisas e das relações entre os homens. No rito está a acção/ relação. Nylan escreve : “O termo rito denota uma panóplia de comportamentos apropriados e de mútuo agrado, feitos sobre as percepções emocionais. Estes comportamentos, expressos através do vestir, do semblante, da postura corporal e da comunicação verbal são criados para fortalecer a ligação entre os vivos e os mortos”.
Nylan admite ainda que existe um Li quotidiano, que abrange o comportamento circunspecto, determinados actos considerados e uma cortesia requintada. No entanto, ao contrário da conotação ocidental, o Li de Confúcio não é uma acção religiosa, mas sim uma regra implícita ao relacionamento humano e inerente à pessoa exemplar, que regula e explana as relações existentes entre as pessoas.
Confúcio disse: “O respeito está próximo do li, para ficar longe da vergonha e da desgraça. A pessoa exemplar tem um grande conhecimento literário, mas modera-o com o li; como pode ele desviar-se da Via? (...) Se existir respeito sem o li, será cansaço; se existir prudência sem o li, será timidez; se existir coragem sem o li, será imprudência, se existir simplicidade sem o li será rudeza.”
Oiço, há muito tempo, falar em miragens fantásticas que aparecem sobre o mar na costa de Dengzhou.[1]As pessoas mais antigas do lugar disseram-me que, normalmente, aparecem na Primavera e no Verão, e como eu cheguei tarde já não esperava vê-las. Cinco dias depois de ocupar o meu posto, recebi ordens para regressar à corte. Fiquei aborrecido por não ter a possibilidade de ver as miragens e decidi fazer uma oração ao Deus do Mar, o Rei da Ampla Virtude. No dia seguinte, consegui vê-las e escrevi:
A leste, nuvens e mar, vazio e mais vazio, será que os imortais se passeiam nas luzes do vácuo?
Todas as formas nascem do ondular de um mundo flutuante, não existem portas de conchas fechando palácios de pérolas.
A minha mente sabe, é tudo uma grande ilusão, mas meus olhos pedem, desejam a invenção dos deuses.
O dia frio, o mar gelado, lacrados céu e mar, por bem, deixem-me acordar os dragões adormecidos.
Torres inclinadas, colinas verdes embebidas na geada da noite, aí estão as miragens, maravilhas para assombro dos velhos. Neste mundo, tudo se consegue com o labor dos homens, nada mais existe por detrás do outro lado do mundo. Mas quem concebeu tanto deslumbramento? Inventei justificações, as divindades concordaram. Confundir as coisas tem a ver com os homens, não se trata de pragas caídas do céu. Quando o governador de Chaoyang[2] regressou ao norte, após o seu exílio alegrou-se ao ver os picos aguçados de Hengshan[3] considerou que o seu honesto coração tinha comovido os espíritos da montanha. (afinal o Criador apenas tivera pena do velho!) Viveu um raríssimo momento de prazer, os deuses concederam-lhe breves benesses. Aqui, o sol desce, um pássaro solitário perde-se na distância, contemplo o esverdeado do mar, como um espelho de bronze polido.
Para que serve este poema, este mágico entrelaçar de palavras? Como todas as coisas, desaparecerá, pouco a pouco, quando soprar o vento leste.
[1] Em 1085, Su Dongpo foi nomeado governador de Dengzhou, na província de Shandong, mas permaneceu apenas uma dúzia de dias no lugar porque, logo após a sua chegada, foi mandado regressar a Kaifeng para desempenhar funções mais importantes na corte.
[2] O governador de Chaoyang é o poeta e prosador Han Yu 韓愈 (768 – 824). Em 819 foi exilado para o sul da China. Amnistiado três anos depois, regressou a casa, tendo cruzado parte da montanha Hengshan, em Hunan. Han Yu escreveu: “O mais perfeito dos sons humanos é a palavra. A poesia é a forma mais perfeita das palavras.” Ver Quinhentos Poemas Chineses, coord. António Graça de Abreu e Carlos Morais José, Lisboa, Vega Ed., 2014, pags. 185 e 186.
[3] A montanha Henghshan, na província de Hunan, é uma das cinco montanhas sagradas do taoismo chinês. Han Yu, ao passar por aí, os cumes de Hengshan estavam cobertos de névoa. O poeta rezou então aos espíritos da montanha e logo depois toda a névoa desapareceu. Ele considerou que isso aconteceu devido à honestidade que continuava a prevalecer no seu coração.
O Governo chinês disse ontem opor-se “fortemente ao ataque violento” às sedes dos poderes executivo, legislativo e judiciário no Brasil, invadidas no domingo por partidários do ex-presidente de extrema-direita Jair Bolsonaro. “A China está a acompanhar a situação cuidadosamente e opõe-se firmemente ao violento ataque contra as autoridades federais ocorrido no Brasil”, disse o porta-voz do ministério dos Negócios Estrangeiros chinês Wang Wenbin, em
conferência de imprensa. Pequim “apoia as medidas tomadas pelo governo brasileiro para acalmar a situação, restaurar a ordem social e preservar a estabilidade nacional”, acrescentou o porta-voz. Centenas de apoiantes do ex-presidente brasileiro Jair Bolsonaro invadiram e vandalizaram o Congresso Nacional, o Palácio do Planalto e o Supremo Tribunal Federal (STF), sedes do poder legislativo, executivo e judiciário (ver última).
O novo ministro dos Negócios Estrangeiros da China, Qin Gang, vai iniciar o seu mandato com uma viagem de uma semana a cinco países africanos, que inclui Angola, anunciou ontem o seu ministério. Qin, que até recentemente era embaixador nos Estados Unidos, vai visitar Etiópia, Gabão, Angola, Benim e Egpito, entre 09 e 16 de Janeiro, disse o porta-voz do Ministério dos Negócios Estrangeiros Wang Wenbin, em conferência de
imprensa. No Egipto, Qin também vai reunir com o secretário-geral da Liga Árabe, Ahmed Aboul Gheit. O novo ministro cumpre assim com a tradição de mais de três décadas de iniciar o ano com um périplo por África. “Isto mostra que a China atribui grande importância à amizade tradicional com África e ao desenvolvimento das relações China -África”, disse Wang. Qin, 56 anos, foi nomeado ministro dos Negócios Estrangeiros em 30 de Dezembro.
Inventário n.º FM1-20-0007-CIV Juízo de Família e de Menores
Requerente : TSE CHAK KUAN, de sexo feminino, titular do BIRM, residente em Macau, na Avenida de Kwong Tung, nº.7, Edifício TRIUMPH TORRE IV, 8º Andar E. Requerido : CHENG KUONG WAI, de sexo masculino, titular do BIRM, residente em Macau, na Rua do Padre Eugénio Taverna, nº.277, Edifício PAT TAT SUN CHUEN, 6º Andar BS.
Nos autos supra identificados, for designado o dia 24 de Fevereiro de 2023, pelas 12:00 horas, neste Tribunal, para a venda por meio de propostas em carta fechada, o bem a partilhar abaixo identificado. Imóvel
Denominação : Fracção autónoma “BS6” do 6.º andar “BS” Situação : Sito em Macau com os nºs 161 a 327 da Rua do Padre Eugénio Taverna e nºs 190 a 216 da Avenida de Venceslau de Morais.
Fim: : Para habitação. Número de matriz : 071752 Número de descrição na : nº.21559, a fls.133V, do Livro B51 Conservatória do Registo Predial Inscrição : n.º 14753.
O valor da base da venda: MOP3.600.000,00 (Três Milhões, Seiscentas Mil Patacas)
Os preços das propostas devem ser superior ao valor da base da venda acima indicado.
Os interessados na compra devem entregar a sua proposta em carta fechada, com indicação nos envelopes das propostas, a seguinte expressão “proposta em carta fechada”, “Juízo de Família e de Menores” e o “Processo Número: FM1-20-0007CIV”, na Secção Central deste Tribunal, até o dia 23 de Fevereiro de 2023, até 17:45 horas, podendo os proponentes assistir ao acto da abertura das propostas.
É fiel depositário o Sr. CHENG KUONG WAI, residente em Macau, na Rua do Padre Eugénio Taverna, nº.277, Edifício PAT TAT SUN CHUEN, 6º Andar BS, que está obrigado, durante o prazo dos edital e anúncio, a mostrar os bens imóveis a quem pretenda examiná-los, podendo fixar as horas em que, durante o dia, facultará a inspecção.
Quaisquer titulares de direito de preferência na alienação do imóvel supra referido, podem, querendo, exercerem o seu direito no próprio acto da abertura das propostas, se alguma proposta for aceite, nos termos do artº 787º do C.P.C.M.
RAEM, 30 de Novembro de 2022
AS acções do grupo chinês de comércio electrónico Alibaba subiram mais de 8 por cento na sessão de ontem, depois de o fundador do grupo, o bilionário Jack Ma, ter cedido o controlo da subsidiária de tecnologia financeira (‘fintech’) Ant Group.
O Ant Group anunciou, este sábado, um reajuste na estrutura dos direitos de voto, diluindo o poder de Ma, em mais uma etapa no processo de reorganização interna da empresa, depois de os reguladores chineses terem suspendido a sua entrada em bolsa, em Novembro de 2020.
As alterações na estrutura de controlo da empresa implicam que a Ant tenha que esperar um ano, antes de tentar novamente entrar em bolsa, em Hong Kong. No caso da Bolsa de Valores de Xangai, o período é de dois anos.
As alterações agora realizadas significam que a Ant não vai mais
ter um accionista com controlo final, disse a empresa, acrescentando que directores independentes - que incluem Laura Cha, presidente da Bolsa de Valores de Hong Kong – passam a representar mais de metade do Conselho de Administração.
“Como resultado deste ajuste, a estrutura accionista do Ant Group passou a ser mais transparente e diversificada, o que vai facilitar o desenvolvimento estável da empresa”, afirmou a ‘fintech’, em comunicado.
A subida do preço das acções da Alibaba na sessão de ontem em Hong Kong foi também impulsionada pelas declarações do presidente do regulador do sistema bancário e dos seguros da China, que garantiu em entrevista à imprensa oficial que a “rectificação” do sector das ‘fintech’ foi “basicamente concluída”, antecipando o fim da campanha regulatória lançada por Pequim.
Onúmero de deslocações realizado na China no primeiro dia da temporada de viagens por ocasião do Ano Novo Lunar aumentou 38,2 por cento, em relação a 2022, após Pequim ter abolido medidas de prevenção epidémica.
Segundo a agência noticiosa oficial Xinhua, no total, foram realizadas 34,7 milhões de viagens no último sábado, o primeiro dia de um período de 40 dias durante o qual os chineses costumam regressar às res-
pectivas terras natais para celebrar o Ano Novo Lunar, a principal festa das famílias chinesas.
Este período, que é a maior migração anual do planeta, foi afectado, nos últimos dois anos, pelas medidas de prevenção contra a covid-19 que vigoraram na China, ao abrigo da política de ‘zero casos’ de covid-19.
Apesar do aumento do número de viagens, os dados são ainda assim 48,6 por cento inferiores aos registados no primeiro dia da temporada de viagens de
QUASE 90 por cento dos residentes de Henan, uma das províncias mais populosas da China, foram já infectados pela covid-19, disse ontem uma autoridade regional de saúde, depois de o país ter posto fim à política de ‘zero casos’.
O número de pacientes na China cresceu exponencialmente, sobrecarregando o sistema de saúde e os crematórios, depois de o país ter levantado as medidas altamente restritivas de prevenção epidémica, que incluíam a realização de testes em massa e o bloqueio de cidades inteiras.
Em Henan, a terceira província mais populosa da China, 89 por cento da população foi infectada com o novo coronavírus, até 6 de Janeiro, disse Kan Quancheng, funcionário da autoridade de saúde local.
Esta percentagem representa cerca de 88,5 milhões de pessoas.
O número de consultas médicas atingiu o pico a 19 de Dezembro e desde então tem diminuído progressivamente em Henan, disse o funcionário, citado pela imprensa local. As autoridades esperam uma
nova onda de casos durante o Ano Novo Lunar, que calha este ano a 22 de Janeiro. Este período, a principal festa das famílias chinesas, é a maior migração anual do planeta, à medida que milhões de chineses retornam às suas terras natais.
A China, que tem 1,4 mil milhões de habitantes, registou, oficialmente, apenas 30 mortes por covid-19, desde o levantamento das restrições sanitárias em Dezembro passado, apesar de uma vaga de casos sem precedentes no país.
2019, o último Ano Novo Lunar antes da pandemia.
Em Dezembro, no âmbito do fim da política de ‘zero covid’, que vigorou no país durante quase três anos, o governo chinês removeu as restrições às viagens internas, que incluíam a exigência de testes PCR negativos para viajar de avião ou comboio e o registo das deslocações através de uma aplicação de localização.
Cada cidade ou província tinha também as suas próprias políticas: Pequim, por exemplo, não permitia a
Em 2023, o Ano Novo Lunar calha entre os dias 21 e 27 de Janeiro, e a temporada alta de viagens, conhecida
Apesar do aumento do número de viagens, os dados são ainda assim 48,6% inferiores aos registados no primeiro dia da temporada de viagens de 2019, o último Ano Novo Lunar antes da pandemia
em chinês como ‘chunyun’, ocorre entre os dias 7 de Janeiro e 15 de Fevereiro.
As autoridades de saúde chinesas pediram já às zonas rurais, para onde vão viajar muitos trabalhadores migrados nas cidades, que se preparem para a propagação da covid-19. Algumas cidades do país já ultrapassaram o pico dos surtos do novo coronavírus, mas ainda não se alastraram às zonas rurais e pequenos centros urbanos.
O Conselho de Estado, o executivo chinês, exortou os governos locais em meados de Dezembro a dar prioridade a estas áreas “para proteger a população”, apontando “a sua relativa escassez de recursos de saúde”.
O relaxamento das restrições antecedeu uma onda inédita de infecções no país asiático, que provocou cenas de grande pressão hospitalar em diversas cidades.
Edital n.º : 1/E-DC/2023
Processo n.º : 10/DC/2022/F
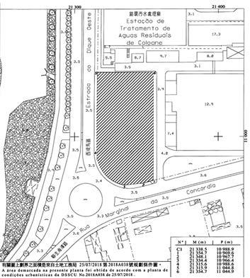
Assunto : Ordem de desocupação de terreno e demolição de construção ilegal
Local : Terreno situado entre a Estrada do Dique Oeste e a Rua Marginal da Concórdia, em Coloane Lai Weng Leong, Director da Direcção dos Serviços de Solos e Construção Urbana (DSSCU), faz saber que ficam notificados os ocupantes ilegais do terreno indicado em epígrafe, cujas identidades e moradas se desconhecem, do seguinte: 1. A DSSCU, no exercício dos poderes de fiscalização conferidos pela alínea 3) do n.º 1 do artigo 185.º da Lei n.º 10/2013 (Lei de terras), verificou que o terreno indicado em epígrafe foi vedado com arame farpado e chapas metálicas. No terreno foram construídas três entradas e saídas com portões metálicos, os quais ficaram trancados à chave. Foi igualmente depositada uma grande quantidade de veículos abandonados, acessórios de motorizadas e de automóveis e diversos materiais, bem como contentores metálicos. Tudo isto, sem que tenha sido emitida pela DSSCU a respectiva licença de obra e sem que tenha sido atribuída aos ocupantes a respectiva licença de ocupação temporária nos termos dos artigos 76.º a 81.º da Lei n.º 10/2013 (Lei de terras). Por conseguinte, foi instaurado o procedimento administrativo n.º 10/DC/2022/F relativo à desocupação e restituição do terreno ao Estado.
2. De acordo com a certidão da Conservatória do Registo Predial (CRP), emitida em 20 de Outubro de 2022, o terreno consta da planta cadastral n.º 71259004 (processo n.º 7563/2018), emitida em 30 de Setembro de 2022 pela DSCC, situa-se entre a Estrada do Dique Oeste e a Rua Marginal da Concórdia, em Coloane, não se encontra registado a favor de particular (pessoa singular ou pessoa colectiva) o direito de propriedade ou qualquer outro direito real, nomeadamente de concessão, aforamento ou arrendamento, e não foi atribuída aos ocupantes a respectiva licença de ocupação temporária, pelo que o mesmo considera-se terreno disponível do Estado, nos termos do artigo 7.º da Lei Básica da Região Administrativa Especial de Macau (RAEM) e do artigo 8.º da Lei n.º 10/2013 (Lei de terras).
3. Nos termos dos artigos 93.º e 94.º do Código do Procedimento Administrativo (CPA), aprovado pelo Decreto-Lei n.º 57/99/M de 11 de Outubro, foi realizada, no seguimento de notificação por edital assinado pelo Director desta Direcção de Serviços e publicado nos jornais em língua chinesa e em língua portuguesa de 17 de Novembro de 2022, a respectiva audiência prévia, mas não foram carreados para o procedimento elementos ou argumentos de facto e de direito que pudessem conduzir à alteração do sentido da decisão de ordenar a desocupação do aludido terreno.
4. Assim, nos termos do n.º 1 do artigo 208.º da Lei de terras e no exercício das competências delegadas pelo n.º 1 da Ordem Executiva n.º 184/2019, o Secretário para os Transportes e Obras Públicas através de despacho de 15 de Dezembro de 2022, exarado sobre a informação n.º 8210/09024/DUR/2022 de 13 de Dezembro de 2022, constante do processo n.º 10/DC/2022/F, ordena que os ocupantes ilegais, que se desconhecem, procedam no prazo de 30 (trinta) dias a contar a partir da data da publicação do presente edital à desocupação do terreno, ao seu despejo, à demolição das referidas construções ilegais, à remoção dos materiais e equipamentos nele depositados e entreguem o terreno ao Governo da RAEM, sem direito a qualquer indemnização.
5. Antes da execução das obras de demolição referidas no ponto anterior, os ocupantes deverão apresentar previamente nestes Serviços a declaração de responsabilidade do construtor incumbido das respectivas obras e a apólice de seguro contra acidentes de trabalho e doenças profissionais. A conclusão dos trabalhos deverá ser comunicada por escrito à DSSCU para efeitos de vistoria.
6. Nos termos do n.º 2 do artigo 208.º da Lei de terras, do artigo 139.º e do n.º 2 do artigo 144.º do CPA, notifica-se ainda os ocupantes ilegais que se no fim do prazo referido no ponto 4 não tiverem dado cumprimento à ordem de desocupação, a DSSCU procederá à execução dos trabalhos de desocupação e de demolição. Nos termos dos artigos 211.º e 210.º da Lei de terras, as despesas realizadas com a desocupação e com a guarda de documentos de identificação e bens móveis de valor encontrados no local constituem encargos dos infractores.
7. Mais se notifica que poderá ser punido com a multa prevista no artigo 196.º da Lei de terras quem ocupar ilegalmente terrenos do domínio público ou privado do Estado.
8. E de acordo com o artigo 193.º da Lei de terras, poderá igualmente incorrer em responsabilidade criminal pelo crime de desobediência previsto e punido pelo n.º 1 do artigo 312.º do Código Penal, quem ocupar ilegalmente terrenos do domínio público ou privado do Estado e não cumprir a ordem de desocupação emanada.
9. Informa-se que de acordo com casos similares tratados no passado, caso seja a Administração a proceder à desocupação coerciva do referido terreno, a despesa resultante da execução dos trabalhos de desocupação poderá atingir o montante de $1 000 000,00 (um milhão de patacas), contudo, este valor varia em função da área ocupada, da complexidade das obras, da quantidade de materiais depositados na área de ocupação e da inflação, pelo que o referido montante é apenas para referência.
10. Os objectos, materiais e equipamentos eventualmente deixados no terreno serão tratados de acordo com o disposto no artigo 210.º da Lei de terras.
11. Nos termos dos artigos 145.º e 149.º do CPA, os interessados podem apresentar reclamação ao Secretário para os Transportes e Obras Públicas no prazo de 15 (quinze) dias contados a partir da data da publicação do presente edital.
12. Nos termos da subalínea (2) da alínea 8) do artigo 36.º da Lei n.º 9/1999, republicada integralmente pelo despacho do Chefe do Executivo n.º 265/2004, da decisão de desocupação emanada pelo Secretário para os Transportes e Obras Públicas, cabe recurso contencioso a interpor para o Tribunal de Segunda Instância da RAEM, no prazo indicado no n.º 2 do artigo 25.º do Código do Processo Administrativo Contencioso, a partir da data da publicação do presente edital.
RAEM, 5 de Janeiro de 2023.
Processo n.º: 10/DC/2022/F
Local : Terreno situado entre a Estrada do Dique Oeste e a Rua Marginal da Concórdia, em Coloane (demarcado a tracejado na planta em anexo). Planta em anexo:
Éhoje inaugurada, a partir das 18h30, a exposição de Natalie Lao na Fundação Rui Cunha (FRC), uma mostra intitulada «A Simplicidade na Era da Exuberância” [The Pure in Golden Age], que reúne 19 pinturas em seda e papel onde se recriam influências orientais a partir de uma visão contemporânea. Natalie Lao utiliza diferentes elementos de imagem nas suas obras “para expressar opiniões sobre a impermanência e a mudança das coisas no mundo, advertindo-se a si mesma para não ser obstinada
e persistente”, revela a nota informativa do projecto. Segundo a artista, “conceitos de design contraditórios sempre foram uma fonte de inspiração para as suas criações”.
O mesmo texto dá conta de que a “pincelada fina imita o padrão dos lenços de seda”, sendo estes padrões aplicados nas obras. “A sobreposição visual de dois elementos faz com que as pessoas entendam a relação primária e secundária da pintura. Pensando e transmitindo as ideias com perfeição, ela usa alucinações visuais para despertar
as pessoas para uma discussão sobre a verdade e a falsidade do que vêem. Cortinas e tecidos de seda podem desempenhar um papel na cobertura de objectos. Quando ela usa esses símbolos de imagem nas suas obras, é também para expressar a relação contraditória do que vai no seu coração, espera que os outros a leiam e entendam, ao mesmo tempo que teme o impacto de ser notada”.
Natural de Heshan, Natalie Lao formou-se em 2016 na Escola Superior de Belas Artes da Universidade Politécnica de
Macau, completando o Programa de Bacharelato em Artes Visuais (Pintura de Belas Artes com especialização em pintura chinesa). Em 2017 avançou para o curso de formação avançada da Academia de Belas Artes de Cantão (Pintura de Flores e Pássaros). Actualmente é vice-presidente e directora executiva da Macau Yiyuan Painting and Calligraphy Association, e vice-presidente da Hao Jiang Printing Society.
Os trabalhos vão estar expostos na Galeria da FRC até ao dia 28 deste mês.
Abanda Blackpink vai actuar nos dias 21 e 21 de Maio na Arena Galaxy no âmbito da digressão “Born Pink”. A informação foi revelada ontem pela concessionária de jogo Galaxy. Os bilhetes começam a ser vendidos a 5 de Fevereiro.
A girl band constituída pelas cantoras Jisoo, Jennie, Rosé e Lisa é actualmente uma das mais famosas a nível mundial do pop coreano. Desde o início da actual digressão, em Outubro do ano passado, que a banda visitou cidades internacionais como Los Angeles, Londres, Paris. Além disso, neste fim-de-semana vai fazer uma paragem em Hong Kong, para três espectáculos, na Arena AsiaWorld.
Em Macau, o local escolhido para os dois concertos é a nova Arena Galaxy, no hotel e casino com o mesmo nome, que tem capacidade para cerca de 16 mil pessoas. Os preços ainda não são conhecidos.
A venda ao público dos ingressos começa a 5 de Fevereiro e antecipa-se que os bilhetes esgotem rapidamente, uma vez que apesar da enorme popularidade no grupo no Interior, as Blackpink nunca actuaram no outro lado da fronteira. O concerto deverá assim atrair muitos turistas, porque é uma das poucas oportunidades que os fãs do Interior têm para assistir tão perto de casa a uma actuação das Blackpink.
No caso de os interessados fazerem parte do clube oficial de fãs das Blackpink em Macau, as vendas começam um dia antes a 4 de Fevereiro.
Esta é a segunda vez que Jisoo, Jennie, Rosé e Lisa vão actuar em Macau. No Verão de 2019, antes da pandemia e do encerramento da RAEM ao mundo, a girl band sul-coreana actuou na Arena do Cotai, no hotel e casino Venetian.
Em 2019, a performance contou com a presença de mais de 10 mil fãs e o espectáculo ficou marcado pelos
As Blackpink são a banda com o maior número de subscritores a nível mundial no YouTube
problemas físicos da líder do grupo, Jennie. Como consequência das dificuldades, a cantora falhou o “encore”, que apenas contou com a participação de Jisoo, Rosé e Lisa.
A actuação desse ano fez parte da digressão “In Your Area World Tour” que ao longo de 36 espectáculos contou com uma assistência de mais de 472 mil pessoas e 56 milhões de dólares americanos em receitas só com a venda de bilhetes.
Prémios e distinções Formado em 2016, o grupo sob a alçada da produtora YG Entertainment estreou-se no mesmo ano, com o álbum “Square One”, constituído pelos hits “Boombayah” e “Whistle”. As duas músicas depressa se tornaram bastante populares e chegaram à liderança dos tops de vendas coreano e chinês.
Em 2019,
A verdadeira afirmação mundial chegou em 2019, com a entrada no mercado norte-americano. Nesse ano, com o lançamento do álbum Square Up, as Blackpink estrearam-se com o 55.º lugar do chart mais popular americano, o Billboard Hot 100.
Ao mesmo tempo, as jovens foram somando colaborações com outras artistas bem conhecidas, principalmente do público mais jovem, como Lady Gaga, Selena Gomez, Dua Lipa ou Cardi B.
Com tanto sucesso, chegaram também inúmeros prémios, não só na Coreia do Sul, mas principalmente a nível mundial. Só nos MTV Video Music Awards, as quatro jovens da coreia contam com oito nomeações e duas vitórias, nas categorias de melhor música de versão (2020), com a música “How You Like That” e de melhor concerto no metaverso (2022).
Diversas plantas medicinais podem ser úteis para o tratamento de queimaduras na pele, sendo de realçar as plantas anti-inflamatórias, emolientes (suavizantes da pele) e cicatrizantes. São igualmente benéficas as plantas com acção anti-infecciosa (previnem a infecção) e analgésica (acalmam a dor). Por norma, o tratamento é a aplicação tópica, quer de preparações caseiras (compressas e cataplasmas, por exemplo), quer de preparações farmacêuticas (creme, pomada, gel, etc.). É ainda de referir que, de acordo com a gravidade da queimadura, pode ser necessário a consulta de um profissional. Vamos conhecer Hoje algumas destas plantas:
mil fãs
As plataformas digitais são mesmo o “reino” da banda, que em 2020, com a estreia do videoclip “How You Like That” entrou para o Livro do Guinness, ao bater alguns recordes, como o do vídeo com maior número de visualizações nas primeiras 24 horas no YouTube e maior número de visualizações na estreia de um vídeo. Os recordes foram posteriormente batidos, mas a banda continua a ser aquela com o maior número subscritores no YouTube. João Santos Filipe
Aloé (Aloés, Azebre, Erva-babosa), Aloe vera (sin. Aloe barbadensis), gel obtido da polpa das folhas : Originário do Sul de África, o Aloé encontra-se disseminado pelas regiões quentes e desérticas da América Central e Ásia. Apresenta folhas lanceoladas, grandes, grossas e carnudas, com os bordos espinhosos, dispostas em forma de roseta, e flores de cor amarela ou vermelha, consoante a variedade, agrupadas em inflorescências terminais; pode alcançar 3 ou 4 metros de altura. Enquanto planta medicinal, o seu uso perde-se nos tempos, tendo sido empregue para sarar as feridas dos soldados gregos na Antiguidade. Consta ainda que foi utilizado por alguns habitantes de Hiroshima e Nagasaki, que sobreviveram às bombas atómicas, para o tratamento das queimaduras produzidas pela radiação. Com efeito, o seu gel acelera a regeneração da pele danificada e, além disso, reduz a cicatriz, sendo muito recomendado em caso de feridas, mesmo que infectadas, queimaduras e queimaduras cutâneas provocadas por radiações ionizantes, bem como na radiodermatite que surge após tratamentos de radioterapia; pode também ser útil nas afecções da pele, como psoríase, eczemas, acne, pé de atleta e herpes, entre outras, sendo adequada para os bebés e crianças. Pode ser aplicado topicamente o gel, em compressas, ou colocada a polpa da folha directamente na região da pele afectada.
Oliveira (Azeitoneira, Zambujeiro), Olea europaea, óleo obtido dos frutos (azeite): Árvore de porte médio, tronco grosso e retorcido, e folhas elípticas de bordo liso e cor verde acinzentada; as flores são pequenas e esbranquiçadas, e, os frutos, botanicamente designados por drupas, são as conhecidas Azeitonas ou Olivas. A variedade silvestre, o Zambujeiro, é mais pequena, possui folhas arredondadas e frutos negros de menor tamanho. Nativa do Próximo Oriente, foi disseminada pelos Fenícios e Romanos por toda a bacia mediterrânica, onde actualmente se encontra, quer cultivada quer em estado silvestre. Planta bíblica, a Oliveira é, a par dos cereais e da vinha, um elemento estruturante da dieta mediterrânica – à qual oferece “o ouro líquido do Mediterrâneo” –, sendo igualmente uma importante planta medicinal. Com actividade emoliente e protectora sobre a pele, o azeite suaviza e desinflama a pele e mucosas, contribuindo para a cura de queimaduras, feridas, úlceras e irritações da pele. Pode ser aplicado topicamente em forma de loção, unguento ou pomada.
Tília, Tilia europaea, inflorescências: Árvore majestosa, secular, símbolo da unidade familiar e paz doméstica, a Tília é utilizada como remédio desde a Antiguidade. Trata-se de uma árvore de grande porte e copa muito ramificada, que pode alcançar 20 metros de altura; apresenta folhas caducas, dentadas, em forma de coração, e pequenas flores esbranquiçadas ou amareladas, muito perfumadas, agrupadas em inflorescências. Habita as zonas montanhosas da Europa continental, Córsega e região do Cáucaso, podendo ser encontrada tanto cultivada como em estado silvestre. Com propriedades emolientes e anti-inflamatórias, suaviza e desinflama a pele, sendo indicada para o tratamento de queimaduras, eczemas, furúnculos e irritações da pele de diferentes origens; é ainda benéfica para combater os efeitos do vento, frio ou sol sobre a pele, como, por exemplo, a pele seca e as queimaduras solares. Pode ser aplicada a infusão, em forma de compressas, na região da pele afectada.
ADVERTÊNCIAS: Este artigo tem como finalidade apenas a divulgação e não deve substituir a consulta de um profissional de saúde, nem promover a auto-prescrição. O uso indiscriminado de plantas pode resultar na ocultação de sintomas protelando o correcto diagnóstico e tratamento. Além disso, algumas delas apresentam contra-indicações, efeitos adversos ou interacções com medicamentos. Consulte o seu profissional de saúde.
a performance contou com a presença de mais de 10
“Blackpink in your area” é a frase utilizada pela girl band em todos os videoclips e em Maio o mote torna-se realidade para quem vive em Macau. No âmbito da digressão “Born Pink” o grupo tem dois concertos marcados para a nova Galaxy Arena
O filme que estreou no Netflix antes de chegar às salas de cinema foi feito para saborear ao de leve, para que o telespectador possa absorver todas as suas partículas. Tem a magia do preto e branco, a genuinidade das personagens, a filmagem perfeita e os rostos de uma família que podiam muito bem ser os nossos. É um dos casos em que a lentidão da película (que não é assim tanta, afinal) é muito bem-vinda: às vezes é bom que o tempo pare e nos permita ver todas as coisas belas. Andreia Sofia Silva
Propriedade Fábrica de Notícias, Lda Director Carlos Morais José Editores João Luz; José C. Mendes Redacção Andreia Sofia Silva; João Santos Filipe; Nunu Wu Colaboradores Anabela Canas; António Cabrita; Ana Jacinto Nunes; Amélia Vieira; Duarte Drumond Braga; Gonçalo Waddington; José Simões Morais; Julie Oyang; Paulo Maia e Carmo; Rosa Coutinho Cabral; Rui Cascais; Sérgio Fonseca; Colunistas André Namora; David Chan; João Romão; Olavo Rasquinho; Paul Chan Wai Chi; Paula Bicho; Tânia dos Santos Grafismo Paulo Borges, Rómulo Santos Agências Lusa; Xinhua Fotografia Hoje Macau; Lusa; GCS; Xinhua Secretária de redacção e Publicidade Madalena da Silva (publicidade@hojemacau.com.mo) Assistente de marketing Vincent Vong Impressão Tipografia Welfare Morada Pátio da Sé, n.º22,
www.hojemacau.com.mo
UM ESTUDO feito em Hong Kong apontou que 57.9 por cento dos inquiridos pretendem desfrutar da reforma na Área da Grande Baía. Shenzhen e Guangzhou são as primeiras escolhas, aparentemente porque nestas cidades o custo de vida é mais baixo. A comunicação social assinalou que as alterações ao Fundo de Previdência Obrigatório, o aumento do âmbito de aplicação dos vouchers de saúde e dos incentivos fiscais e a manutenção do estatuto de contribuinte de Hong Kong, tornaram a Área da Grande Baía o local mais atractivo para se viver depois da reforma. Não é surpreendente que os residentes de Hong Kong tenham esta opinião. As Nações Unidas assinalaram que quando a percentagem de idosos é superior a 14 por cento estamos perante uma sociedade envelhecida. Em 2022, viviam em Hong Kong 1 milhão e 520 mil pessoas com mais de 65 anos, num total de 7 milhões e 290 mil habitantes. Estes números apontam para uma percentagem de idosos na ordem dos 20.9 por cento em relação ao total da população, ou seja, um em cada cinco habitantes é idoso. O Census and Statistics Department of the Hong Kong Government prevê que a percentagem de idosos continue a aumentar, atingindo os 30 por cento em 2037, num total de 2 milhões e 580 mil pessoas, ou seja, nessa altura, existirão 3 idosos por cada 10 habitantes. Deste modo, percebemos que Hong Kong já é uma sociedade envelhecida.
O aumento do envelhecimento da população acarreta sérias implicações para a sociedade. Em primeiro lugar, a percentagem da população em idade activa diminui. O Census and Statistics Department of the Hong Kong Government prevê que em 2024, Hong Kong terá 3 milhões e 650 mil residentes em idade activa, o que representa 50 por cento do total da população. O aumento da
percentagem de idosos, acompanhado pelo decréscimo da percentagem de população em idade activa, vai naturalmente fazer baixar o PIB. Em segundo lugar, à medida que a população envelhece, aumenta o encargo que os filhos têm com os pais. De acordo com um estudo feito em Hong Kong, mais de metade dos inquiridos dão aos pais entre 3.000 a 7.000 dólares de Hong Kong (HKD) por mês, o que representa 10 por cento a 24 por cento do rendimento médio familiar, estimado nesse ano em 28.700 HKD. A diminuição do rendimento dos filhos vai afectar a compra de casas, reduzir os fundos para a educação da geração seguinte e assim por diante. Três gerações de uma família podem ser afectadas. Em terceiro lugar, à medida que a população envelhece, as despesas do Governo relacionadas com a Segurança Social aumentam e a pressão nas finanças públicas cresce de dia para dia.
A população de Macau também está a envelhecer. O relatório emitido pela “Projecção da População de Macau 2016-2036” assinala que em 2026, a percentagem de pessoas com mais de 65 anos representará 16 por cento do total da população, aproximadamente 157.600 indivíduos, o que de acordo com os padrões das Nações Unidas indica a existência de uma população envelhecida. Segundo os dados dos Serviços de Estatística e Censos de Macau, relativos a 2020, 12.9 por cento da população tinha mais de 65 anos, valor que se aproxima da marca a partir da qual as Nações Unidas consideram que uma sociedade está envelhecida.
Actualmente, o Governo de Macau dá aos idosos uma pensão anual de 9.000 patacas, uma pensão mensal de 3.740, um cheque pecuniário de 10.000 e ainda 7.000 patacas anuais provenientes do Regime de Previdência Central Não Obrigatório. Se nos basearmos nestes cálculos, o Governo de Macau dá a cada idoso cerca de 6.200 patacas mensais e ainda acesso a serviços de saúde grátis ou de baixo custo e uma comparticipação para transportes. Todos estes apoios são bons para os mais velhos.
Em termos de habitação, foram criados os “apartamentos para idosos”, que fornecem algo semelhante a serviços de hotelaria aos seus ocupantes. Estes apartamentos embora sejam privados encontram-se inseridos num programa de habitação social, o que permite que os futuros locatários vão podendo contribuir com um valor mensal antes de os ocuparem. À partida, as pessoas com menos posses não podem aceder a estes apartamentos. Simultaneamente, Macau não tem um plano de “hipoteca inversa”. Os idosos não podem “emprestar” as suas propriedades aos Bancos, de forma a receberem um rendimento mensal vitalício.
No seu todo, os vários benefícios dados pelo Governo de Macau aos idosos são bastante bons, mas a China continental tem condições bastante melhores. A China continental é muito vasta, e pode proporcionar aos idosos espaços vitais alargados. O ar é mais puro do que em Macau e mais saudável para os idosos. O custo de vida também é relativamente baixo, o que é conveniente para quem tem poucos rendimentos. Mas acima de tudo, muitos residentes de Macau têm familiares na Área da Grande Baía. Portanto, desde que um apoio suplementar seja dado aos idosos de Macau que decidam residir na Área da Grande Baía, muitos se sentirão atraídos para aí passarem o tempo das suas reformas. Por exemplo, como atrás mencionado, os vouchers de saúde de Hong Kong podem ser usados na China continental, um factor a ser considerado em Macau. Além disso, a Lei de Macau tem regulamentos claros sobre a distribuição dos fundos do Regime de Previdência Central Não Obrigatório. Em primeiro lugar, o Governo de Macau tem de ter um excedente orçamental. Em segundo lugar, os beneficiários têm de residir em Macau pelo menos 183 dias por ano. Se esta última condição desaparecer, os idosos de Macau não perdem os fundos do Regime de Previdência Central Não Obrigatório se forem viver para a Área da Grande Baía.
O custo de vida mais baixo, o ar mais puro e mais espaço vital são boas condições que podem atrair os idosos de Macau a passarem o seu tempo de reforma na China continental. A Área da Grande Baía fica perto de Macau e o tempo de deslocação não é longo. Além disso, muitos residentes de Macau têm parentes na Área da Grande Baía. Se houver mais apoio, haverá muitos idosos de Macau dispostos a viver na Grande Baía para aí gozarem os seus dias de reforma.
O custo de vida mais baixo, o ar mais puro e mais espaço vital são boas condições que podem atrair os idosos de Macau a passarem o seu tempo de reforma na China continentalmacau visto de hong kong David Chan
ATailândia começou ontem a exigir um certificado de vacinação contra a covid-19 a todas as pessoas que entram no país, uma restrição aprovada após a reabertura da China e criticada pelas associações de turismo.
Desde ontem e, pelo menos até 31 de Janeiro, os viajantes devem apresentar, na altura do embarque para a Tailândia, um certificado que comprove a vacinação, enquanto os não vacinados devem apresentar atestado médico ou documento que comprove a recuperação.
A política, anunciada na quinta-feira, coincide com a reabertura das fronteiras da China, que era até ao início da pandemia uma das principais fontes de turistas para a Tailândia.
No domingo, o Departamento de Aviação Civil da Tailândia confirmou que os passageiros que não puderem comprovar terem a vacinação em dia devem realizar um teste para detectar o novo coronavírus à chegada ao país.
Além disso, os visitantes cujos países de origem solicitam um teste de ácido nucleico à chegada, como é o caso da China e da Índia, devem também ter um seguro especial para covid-19, com uma cobertura de pelo menos 10 mil dólares caso testem positivo antes do voo de regresso.
A Associação de Turismo da ilha de Phuket (oeste), um dos principais turísticos tailandeses, criticou em comunicado a pressa das autoridades tailandesas e a confusão na divulgação da medida.
De acordo com a associação, que diz ter tomado conhecimento da mudança de política através dos meios de comunicação social, muitos turistas já estavam em trânsito para a Tailândia quando a medida foi anunciada.
Europa condena violência em Brasília e transmite apoio a Lula da Silva
Apresidente do Parlamento Europeu, Roberta Metsola, afirmou-se “profundamente preocupada” com a violência em Brasília, onde apoiantes do ex-presidente Jair Bolsonaro invadiram sedes dos poderes, e defendeu que “a democracia deve ser sempre respeitada”.
“Profundamente preocupada com o que está a acontecer no #Brasil. A Democracia deve ser sempre respeitada”, afirmou Roberta Metsola, numa publicação na rede social Twitter no domingo.
A líder afirma que o Parlamento Europeu “está ao lado do Governo” do Presidente Luiz Inácio Lula da Silva e “de todas as instituições legitima e democraticamente eleitas”.
Por seu lado, o presidente do Conselho Europeu, Charles Michel, expressou domingo a sua “condenação absoluta” do “ataque às instituições democráticas” no Brasil e transmitiu o “total apoio” do bloco ao Presidente Lula da Silva, que tomou posse há uma semana, após a vitória na segunda volta das eleições presidenciais, em 30 de Outubro, sobre Jair Bolsonaro, que procurava a reeleição para um segundo mandato.
Também no Twitter, Michel recordou que Lula foi eleito “democraticamente”, em eleições que foram “justas e livres”, ao contrário do que o ex-presidente Jair Bolsonaro defendeu durante estes meses.
Por sua parte, o alto representante da União Europeia para a Política Externa, Josep Borrell, expressou o seu “desânimo” perante as “acções violentas e ocupação ilegal” de instituições por milhares de “extremistas”.
“A democracia brasileira prevalecerá sobre a violência e o extremismo”, sublinhou, no Twitter.
Também o Presidente francês, Emmanuel Macron, recorreu à mesma rede para defender que “a vontade do povo brasileiro e as instituições democráticas devem ser respeitadas!”.
Lula da Silva, acrescentou o líder francês, “pode contar com o apoio incondicional da França”.
O chefe do Governo espanhol, Pedro Sánchez, também transmitiu no Twitter “todo” o seu “apoio” ao chefe de Estado brasileiro e “às instituições eleitas livre e democraticamente pelo povo brasileiro”.
“Condenamos veementemente o assalto ao Congresso do Brasil e pedimos o regresso imediato à normalidade
democrática”, referiu ainda o primeiro-ministro espanhol.
O Presidente do Brasil, Luiz Inácio Lula da Silva, decretou domingo a intervenção federal na área de Segurança Pública de Brasília e disse que todos os responsáveis pelas invasões das sedes dos poderes executivo, legislativo e judiciário serão punidos.
Os miseráveis Centenas de apoiantes do ex-presidente brasileiro Jair Bolsonaro invadiram e vandalizaram domingo o Congresso Nacional, o Palácio do Planalto e o Supremo Tribunal Federal (STF), sedes do poder legislativo, executivo e judiciário, numa manifestação em que pedem uma intervenção militar para derrubar o Presidente Luiz Inácio Lula da Silva, uma semana após a sua tomada de posse.
Os manifestantes avançaram e furaram as barreiras montadas pela polícia, com imagens dos invasores dentro do salão verde do Congresso, dentro e fora do Palácio do Planalto e do Supremo Tribunal Federal (STF), a serem divulgadas nas redes sociais A polícia brasileira usou gás lacrimogéneo para tentar, sem sucesso, travar os manifestantes.
AÍndia declarou domingo “estado de calamidade” na cidade de Josimath após o surgimento de rachas em edifícios e o colapso de um templo, que levou à retirada de 60 famílias no sábado.
A decisão tomada pelas autoridades do Estado de Uttarajand afecta todos os nove distritos da região e após a recomendação de uma equipa de especialistas que examinou danos que apresentam 600 dos 4.500 edifícios da cidade.
A equipa, de acordo com o jornal ‘Times of India’, determinou que “as casas em Joshimath que apresentem os danos mais graves devem ser demolidas”, depois de verificar mais de uma centena de edifícios com rachas.
As autoridades estimam que até 600 famílias terão de deixar as suas casas na próxima semana.
O primeiro-ministro do país, Narendra Modi, garantiu às autoridades estatais que receberão toda a ajuda possível para salvar a cidade de um colapso e convocou uma reunião de especialistas para avaliar a situação.
Oito hotéis em cidades próximas abriram as suas portas para quem decidir sair por conta própria, segundo autoridades do município de Chamoli. No total, o Governo do estado preparou acomodações para 1.500 pessoas, número que pode aumentar nos próximos dias.
Localizada nas proximidades dos Himalaias, a uma altitude de 1.890 metros, Joshimath foi construída num terreno propenso a deslizamentos de terra e que sofreu extensa erosão nos últimos anos devido a chuvas extremas.
Além destes factores externos, a falta de planeamento no desenvolvimento urbano da cidade, onde estão actualmente a ser construídos vários túneis associados a um projecto hidroeléctrico, tem servido para o afundamento do seu solo, revelaram os especialistas.
“Salvar vidas é nossa primeira prioridade. Autoridades foram solicitadas a transferir cerca de 600 famílias que vivem em casas em perigo em Joshimath para lugares seguros”, disse Singh durante uma conferência de imprensa na sexta-feira, após uma reunião com seu gabinete.