Digital Listing Kit 1700 E. Royal Ridge

Page 1

Subject Property

1700 E Royal Ridge Way Oro Valley AZ 85755 APN: 223-06-3080

Data Provided By:

First American Title Ins Co

© 2023 CoreLogic. All rights reserved

LIMITATION OF LIABILITY FOR INFORMATIONAL REPORTS

IMPORTANT -- PLEASE READ CAREFULLY:

This report is not an insured product or service or a representation of the condition of title to real property. It is not an abst ract, legal opinion, opinion of title, title insurance commitment or preliminary report, or any form of Title Insurance or Guaranty. This report is issued exclusively for the benefit of the Applicant therefor and may not be used or relied upon by any other person. This report may not be reproduced in any manner without First American or Title Security's prior written consent. First American or Title Security does not represent or warrant that the information herein is complete or free from error, and the information herein is provided without any warranties of any kind, as-is, and with all faults. As a material part of the consideration given in exchange for the issuance of this report, recipient agrees that First American or Title Security's sole liability for any loss or damage caused by an error or omission due to inaccurate information or negligence in preparing this report shall be limited to the fee charged for the report. Recipient accepts this report with this limitation and agrees that First American or Title Security would not have issued this report but for the limitation of liability described above. First American or Title Security makes no representation or warranty as to the legality or propriety of recipient's use of the information herein.

Disclaimer

This REiSource report is provided "as is" without warranty of any kind, either express or implied, including without limitations any warrantees of merchantability or fitness for a particular purpose. There is no representation of warranty that this information is complete or free from error, and the provider does not assume, and expressly disclaims, any liability to any person or entity for loss or damage caused by errors or omissions in this REiSource report without a title insurance policy.

The information contained in the REiSource report is delivered from your Title Company, who reminds you that you have the right as a consumer to compare fees and serviced levels for Title, Escrow, and all other services associated with property ownership, and to select providers accordingly. Your home is the largest investment you will make in your lifetime and you should demand the very best.

Data Provided By: First American Title Ins Co
© 2023 CoreLogic. All rights reserved

Subject Property :   1700 E Royal Ridge Way Oro Valley AZ 85755

Owner Information

Owner Name : Eaker Charles C

Mailing Address : 1700 E Royal Ridge Way, Oro Valley AZ 85755-7113 R066

Vesting Codes : / / Joint Tenants

Owner Occupied Indicator : O

Location Information

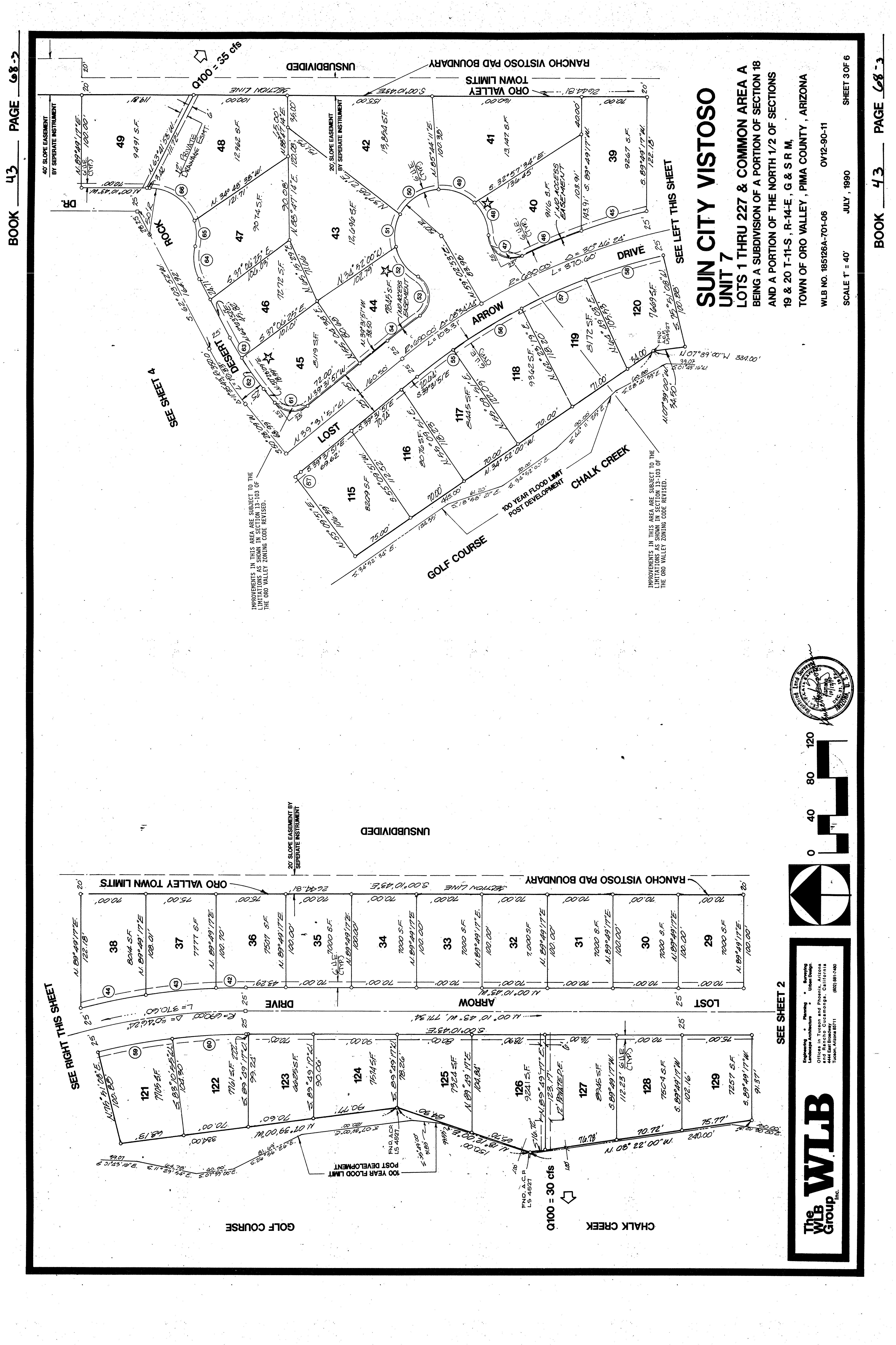
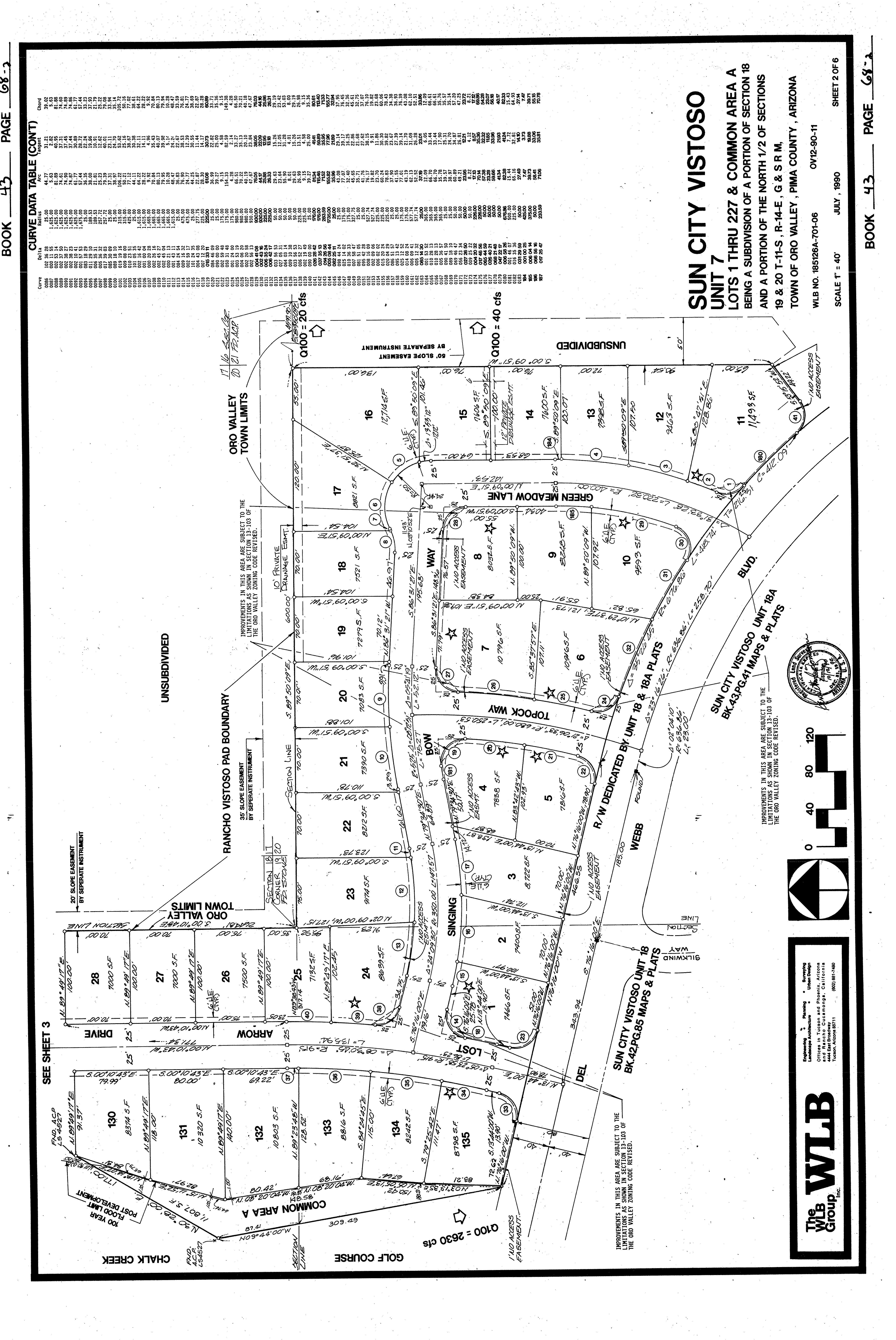
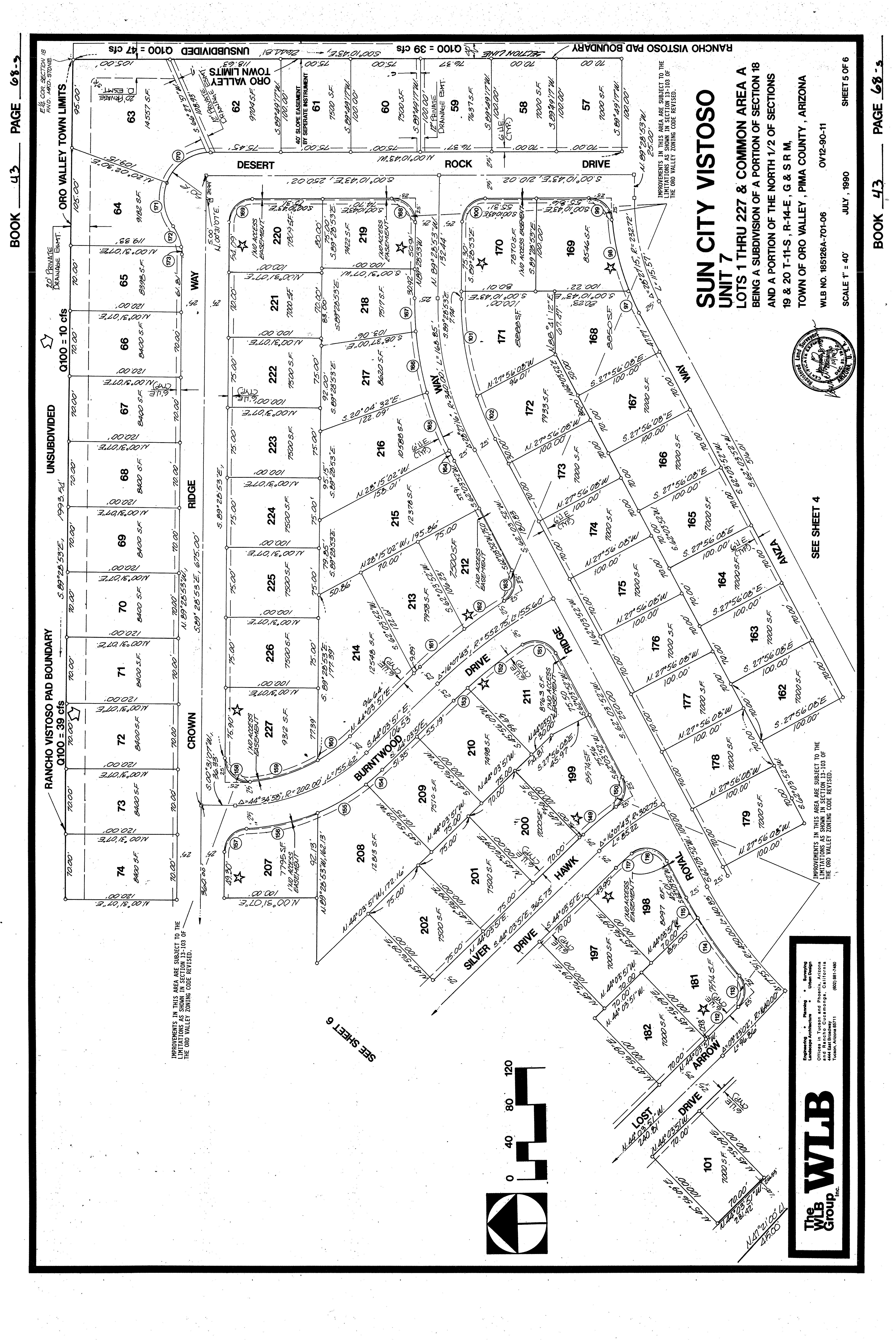
Legal Description : Sun City Vistoso Unit 7 Lot 180

County : Pima, Az

Census Tract / Block : 46.43 / 1

Township-Range- Sect : 11S-14E-18

Legal Book/Page : 43-68

Legal Lot : 180

Market Area : 422

Owner Transfer Information

Recording/Sale Date : 03/25/2019 / 03/19/2019

Document # : 840581

Last Market Sale Information

APN : 223-06-3080

Subdivision : Sun City Vistoso

Map Reference : 18-11S-14E

School District : Amphitheater

Munic/Township : Amphitheater

Deed Type : Affidavit

Recording/Sale Date : 07/15/2005 / 06/29/2005 Deed Type : Warranty Deed

Sale Price : $330,000

Document # : 12595-1011

Title Company : Title Security Inc

Seller Name : Williams Grant S Trust

Prior Sale Information

Prior Rec/Sale Date : 06/03/2002 / 05/17/2002

Prior Sale Price : $259,000

Price Per SqFt : $177.61

Prior Doc Number : 11812-4

Prior Deed Type : Warranty Deed

Customer Name : Chantel Cortez Customer Company Name : FIRST AMERICAN TITLE Prepared On : 03/02/2023 © 2023 CoreLogic. All rights reserved

Property Characteristics

Gross Area : 1,858 Garage Capacity : 2

Living Area : 1,858

Patio Type : Covered Patio

Roof Material : Tile Air Cond : Refrigeration

Total Rooms : 7 Heat Type : Forced Air Quality : Fair

Year Built / Eff : 1994

# of Stories : 1

Parking Type : Garage

Property Information

Cooling Type : Forced Air Condition : Excellent

Exterior wall : Frame Wood Bath Fixtures : 8

Land Use : Sfr Zoning : PAD Lot Size : 9,740

County Use : Single Fam Resrural Subd Lot Acres : 0.22 State Use : Single Fam Resrural Subd

Tax

Property Tax : $3,208.54 Current Year Total Value : $32,756 Total Taxable Value : $25,463 Tax Rate Area : 1013 Current Year Improvement Value : $32,706
Year : 2022 Market Value : $262,576 Current Year Land Value : $50 Tax Year : 2022 Current Assessed Year : 2023 Customer Name : Chantel Cortez Customer Company Name : FIRST AMERICAN TITLE Prepared On : 03/02/2023 © 2023 CoreLogic. All rights reserved
Information Total Value : $262,576
Assessed
Criteria Subject Property Low High Average Sale Price $330,000 $387,500 $742,500 $497,978 Bldg/Living Area 1858 1588 2059 1808 Price Per Square Foot $177.61 $215 $424 $276.87 Year Built 1994 1987 1994 1991 Lot Size 9,740 5,797 10,614 7,809 Bedrooms Bathrooms 3 2 4 3 Stories 1 1 1 1 Total Assessed Value $262,576 $228,760 $286,195 $260,817 Distance From Subject 0 0.02 0.45 0.25 Summary of Comparables # Address Sale Price Total Assessed Value Sale Date Bed Bath Living Area Lot Size Year Built Dist (Miles) Zoning S 1700 E Royal Ridge Way 330,000 262,576 07/15/2005 3 1,858 9,740 1994 PAD 1 1714 E Royal Ridge Way 471,500 286,195 06/01/2022 3 2,034 7,325 1993 0.02 PAD 2 1751 E Anza Way 430,000 258,812 09/19/2022 3 1,818 6,977 1993 0.04 PAD 3 14734 N Burntwood Dr 480,000 261,654 05/11/2022 3 1,846 7,702 1993 0.1 PAD 4 1831 E Anza Way 440,000 276,570 06/17/2022 4 2,046 7,019 1993 0.1 PAD 5 14600 N Chalk Creek Dr 742,500 278,669 04/04/2022 3 1,750 7,527 1987 0.12 PAD 6 1830 E Royal Ridge Way 449,000 258,920 01/25/2023 3 1,818 9,344 1993 0.13 PAD 7 14725 N Desert Rock Dr 475,000 262,468 07/07/2022 3 1,858 8,172 1994 0.14 PAD 8 1589 E Crown Ridge Way 505,000 284,393 09/20/2022 3 2,057 8,683 1994 0.16 PAD 9 14516 N Del Webb Blvd 485,000 249,720 03/30/2022 3 1,750 10,614 1987 0.24 PAD 10 14492 N Lone Wolf Ln 387,500 249,562 06/01/2022 3 1,750 6,798 1987 0.24 PAD Customer Name : Chantel Cortez Customer Company Name : FIRST AMERICAN TITLE Prepared On : 03/02/2023 © 2023 CoreLogic. All rights reserved
Sales Analysis
11 1352 E Mule Train Dr 596,000 285,525 08/01/2022 3 1,750 7,140 1992 0.28 PAD 12 14465 N Del Webb Blvd 395,000 258,991 04/29/2022 2 1,689 9,188 1993 0.31 PAD 13 14510 N Crown Point Dr 500,000 249,720 06/15/2022 3 1,750 8,793 1987 0.31 PAD 14 14641 N Flagstone Dr 715,500 258,963 05/31/2022 3 1,792 8,479 1991 0.33 PAD 15 14505 N Crown Point Dr 490,000 273,258 10/31/2022 3 2,059 6,722 1987 0.34 PAD 16 14535 N Crown Point Dr 615,000 249,667 01/04/2023 3 1,750 6,612 1987 0.34 PAD 17 14683 N Summerstar Blvd 470,000 261,097 03/31/2022 3 1,779 9,287 1991 0.42 PAD 18 1565 E Broken Bow Way 457,550 228,760 05/03/2022 2 1,588 5,797 1988 0.43 PAD 19 14340 N Rusty Gate Trl 390,000 235,186 04/01/2022 3 1,598 5,918 1993 0.43 PAD 20 1161 E Sunset Ridge Pl 465,000 248,217 08/11/2022 3 1,674 8,090 1991 0.45 PAD Distressed Sales = Customer Name : Chantel Cortez Customer Company Name : FIRST AMERICAN TITLE Prepared On : 03/02/2023 © 2023 CoreLogic. All rights reserved

Customer Name : Chantel Cortez

Customer Company Name : FIRST AMERICAN TITLE Prepared On : 03/02/2023

© 2023 CoreLogic. All rights reserved

Map

Details of Comparables

Owner Name: Hames-jones Deborah A /Jones Franklyn R

APN / Alternate APN: 223-06-3080 / Deed Type: Warranty Deed Land Use: Sfr Subdivision / Tract: Sun City Vistoso / Lot Size: 9,740 Year Built / Eff: 1994 / Rec. Date / Price: 07/15/2005 / $330,000 Living Area: 1,858 # of units: Document #: 12595-1011 Bedrooms: Pool: Total Tax Value: $262,576 Bath(F/H): /
Name:
M APN / Alternate APN: 223-06-3070 / Deed Type: Warranty Deed Land Use: Sfr Subdivision / Tract: Sun City Vistoso / Lot Size: 7,325 Year Built / Eff: 1993 / Rec. Date / Price: 06/01/2022 / $471,500 Living Area: 2,034 # of units: Document #: 1520358 Bedrooms: Pool: Total Tax Value: $286,195 Bath(F/H): /
Subject Property: 1700 E Royal Ridge Way Oro Valley Az 85755 Owner Name: Eaker Charles C /
#1   1714 E Royal Ridge Way Oro Valley Az 85755 Owner
Goodman Randall L /Goodman Donna
#2   1751 E Anza Way Oro Valley Az 85755
APN / Alternate APN: 223-06-2900 / Deed Type: Warranty Deed Land Use: Sfr Subdivision / Tract: Sun City Vistoso / Lot Size: 6,977 Year Built / Eff: 1993 / Rec. Date / Price: 09/19/2022 / $430,000 Living Area: 1,818 # of units: Document #: 2620124 Bedrooms: Pool: Total Tax Value: $258,812 Bath(F/H): / #3   14734 N Burntwood Dr Oro Valley Az 85755
Name:
W APN / Alternate APN: 223-06-3410 / Deed Type: Warranty Deed Land Use: Sfr Subdivision / Tract: Sun City Vistoso / Lot Size: 7,702 Year Built / Eff: 1993 / Rec. Date / Price: 05/11/2022 / $480,000 Living Area: 1,846 # of units: Document #: 1310357 Bedrooms: Pool: Total Tax Value: $261,654 Bath(F/H): /
Owner Name: Coleman Rob W /Coleman Diane J
Owner
Goettach Larry J /Goettach Marcia
#4   1831 E Anza Way Oro Valley Az 85755
APN / Alternate APN: 223-06-2950 / Deed Type: Warranty Deed Land Use: Sfr Subdivision / Tract: Sun City Vistoso / Lot Size: 7,019 Year Built / Eff: 1993 / Rec. Date / Price: 06/17/2022 / $440,000 Living Area: 2,046 # of units: Document #: 1680244 Bedrooms: Pool: Total Tax Value: $276,570 Bath(F/H): / Customer
Customer
: FIRST AMERICAN TITLE Prepared
: 03/02/2023 © 2023 CoreLogic. All rights reserved
Name : Chantel Cortez
Company Name
On
14600
Az 85755 Owner Name: Turnquist Trust / APN / Alternate APN: 223-03-3280 / Deed Type: Warranty Deed Land Use: Sfr Subdivision / Tract: Sun City Vistoso / Lot Size: 7,527 Year Built / Eff: 1987 / Rec. Date / Price: 04/04/2022 / $742,500 Living Area: 1,750 # of units: Document #: 940296 Bedrooms: Pool: Total Tax Value: $278,669 Bath(F/H): /
1830 E Royal Ridge Way Oro Valley Az 85755 Owner Name: Caine Christine E Trust / APN / Alternate APN: 223-06-2990 / Deed Type: Warranty Deed Land Use: Sfr Subdivision / Tract: Sun City Vistoso / Lot Size: 9,344 Year Built / Eff: 1993 / Rec. Date / Price: 01/25/2023 / $449,000 Living Area: 1,818 # of units: Document #: 250057 Bedrooms: Pool: Total Tax Value: $258,920 Bath(F/H): /
14725 N Desert Rock Dr Oro Valley Az 85755 Owner Name: Perillo Ralph & Elaine / APN / Alternate APN: 223-06-2980 / Deed Type: Warranty Deed Land Use: Sfr Subdivision / Tract: Sun City Vistoso / Lot Size: 8,172 Year Built / Eff: 1994 / Rec. Date / Price: 07/07/2022 / $475,000 Living Area: 1,858 # of units: Document #: 1880327 Bedrooms: Pool: Total Tax Value: $262,468 Bath(F/H): /
Name:
APN / Alternate APN: 223-06-2090 / Deed Type: Warranty Deed Land Use: Sfr Subdivision / Tract: Sun City Vistoso / Lot Size: 8,683 Year Built / Eff: 1994 / Rec. Date / Price: 09/20/2022 / $505,000 Living Area: 2,057 # of units: Document #: 2630102 Bedrooms: Pool: Total Tax Value: $284,393 Bath(F/H): /
14516
85755
Name: Hoekstra Cheryl M /Hoekstra Alan L APN / Alternate APN: 223-03-2230 / Deed Type: Warranty Deed Land Use: Sfr Subdivision / Tract: Sun City Vistoso / Lot Size: 10,614 Year Built / Eff: 1987 / Rec. Date / Price: 03/30/2022 / $485,000 Living Area: 1,750 # of units: Document #: 890442 Bedrooms: Pool: Total Tax Value: $249,720 Bath(F/H): /
14492 N Lone Wolf Ln Oro Valley Az 85755
Name: Spirit Mountain Living Trus / APN / Alternate APN: 223-03-1990 / Deed Type: Warranty Deed Land Use: Sfr Subdivision / Tract: Sun City Vistoso / Lot Size: 6,798 Year Built / Eff: 1987 / Rec. Date / Price: 06/01/2022 / $387,500 Living Area: 1,750 # of units: Document #: 1520084 Bedrooms: Pool: Total Tax Value: $249,562 Bath(F/H): / Customer Name : Chantel Cortez Customer Company Name : FIRST AMERICAN TITLE Prepared On : 03/02/2023 © 2023 CoreLogic. All rights reserved
#5
N Chalk Creek Dr Oro Valley
#6
#7
#8   1589 E Crown Ridge Way Oro Valley Az 85755 Owner
Roskom Trust /
#9
N Del Webb Blvd Oro Valley Az
Owner
#10
Owner

#11   1352 E Mule Train Dr Oro Valley Az 85755 Owner Name: Tschirgi Loretta J /

#12   14465 N Del Webb Blvd Oro Valley Az 85755 Owner

#13   14510 N Crown Point Dr Oro Valley Az 85755 Owner

#15   14505 N Crown Point Dr Oro Valley Az 85755

Owner Name: Jendre Laurie /Jendre Paul

Owner Name: Jones Gary /Jones Virginia

APN / Alternate APN: 223-01-0810 / Deed Type: Warranty Deed Land Use: Sfr Subdivision / Tract: Sun City Vistoso / Lot Size: 7,140 Year Built / Eff: 1992 / Rec. Date / Price: 08/01/2022 / $596,000 Living Area: 1,750 # of units: Document #: 2130260 Bedrooms: Pool: Total Tax Value: $285,525 Bath(F/H): /
Name:
APN / Alternate APN: 223-03-6450 / Deed Type: Warranty Deed Land Use: Sfr Subdivision / Tract: Sun City Vistoso A / Lot Size: 9,188 Year Built / Eff: 1993 / Rec. Date / Price: 04/29/2022 / $395,000 Living Area: 1,689 # of units: Document #: 1190641 Bedrooms: Pool: Total Tax Value: $258,991 Bath(F/H): /
Meyers Daniel /
Name:
APN / Alternate APN: 223-03-2670 / Deed Type: Warranty Deed Land Use: Sfr Subdivision / Tract: Sun City Vistoso / Lot Size: 8,793 Year Built / Eff: 1987 / Rec. Date / Price: 06/15/2022 / $500,000 Living Area: 1,750 # of units: Document #: 1660314 Bedrooms: Pool: Total Tax Value: $249,720 Bath(F/H): / #14   14641 N Flagstone Dr Oro Valley Az 85755
Grubbs Gene B /Grubbs Lea T
APN / Alternate APN: 223-01-0850 / Deed Type: Warranty Deed Land Use: Sfr Subdivision / Tract: Sun City Vistoso / Lot Size: 8,479 Year Built / Eff: 1991 / Rec. Date / Price: 05/31/2022 / $715,500 Living Area: 1,792 # of units: Document #: 1510353 Bedrooms: Pool: Total Tax Value: $258,963 Bath(F/H): /
Owner Name: Kantor Robert W /Kantor Monique L
APN / Alternate APN: 223-03-2930 / Deed Type: Warranty Deed Land Use: Sfr Subdivision / Tract: Sun City Vistoso / Lot Size: 6,722 Year Built / Eff: 1987 / Rec. Date / Price: 10/31/2022 / $490,000 Living Area: 2,059 # of units: Document #: 3040167 Bedrooms: Pool: Total Tax Value: $273,258 Bath(F/H): /
#16   14535 N Crown Point Dr Oro Valley Az 85755
APN / Alternate APN: 223-03-2960 / Deed Type: Warranty Deed Land Use: Sfr Subdivision / Tract: Sun City Vistoso / Lot Size: 6,612 Year Built / Eff: 1987 / Rec. Date / Price: 01/04/2023 / $615,000 Living Area: 1,750 # of units: Document #: 40206 Bedrooms: Pool: Total Tax Value: $249,667 Bath(F/H): / Customer Name : Chantel Cortez Customer Company Name : FIRST AMERICAN TITLE Prepared On : 03/02/2023 © 2023 CoreLogic. All rights reserved

#17   14683 N Summerstar Blvd Oro Valley Az 85755

Name: Hamann Steven Eugene /

#18   1565 E Broken Bow Way Oro Valley Az 85755

Name: Shawn M Craig Revocable /Craig Shawn M Trust

14340 N Rusty Gate Trl Oro Valley Az 85755

APN / Alternate APN: 223-01-5130 / Deed Type: Warranty Deed Land Use: Sfr Subdivision / Tract: Sun City Vistoso B / Lot Size: 9,287 Year Built / Eff: 1991 / Rec. Date / Price: 03/31/2022 / $470,000 Living Area: 1,779 # of units: Document #: 900561 Bedrooms: Pool: Total Tax Value: $261,097 Bath(F/H): /
APN / Alternate APN: 223-01-2720 / Deed Type: Warranty Deed Land Use: Sfr Subdivision / Tract: Sun City Vistoso Amd 02 / Lot Size: 5,797 Year Built / Eff: 1988 / Rec. Date / Price: 05/03/2022 / $457,550 Living Area: 1,588 # of units: Document #: 1230075 Bedrooms: Pool: Total Tax Value: $228,760 Bath(F/H): /
Owner Name:
APN / Alternate APN: 223-01-3330 / Deed Type: Warranty Deed Land Use: Sfr Subdivision / Tract: Sun City Vistoso Amd 02 / Lot Size: 5,918 Year Built / Eff: 1993 / Rec. Date / Price: 04/01/2022 / $390,000 Living Area: 1,598 # of units: Document #: 910251 Bedrooms: Pool: Total Tax Value: $235,186 Bath(F/H): / #20   1161
Owner Name: Hilmes Gary B /Hilmes Sabine D APN / Alternate APN: 223-01-5150 / Deed Type: Warranty Deed Land Use: Sfr Subdivision / Tract: Sun City Vistoso B / Lot Size: 8,090 Year Built / Eff: 1991 / Rec. Date / Price: 08/11/2022 / $465,000 Living Area: 1,674 # of units: Document #: 2230269 Bedrooms: Pool: Total Tax Value: $248,217 Bath(F/H): / Customer Name : Chantel Cortez Customer Company Name : FIRST AMERICAN TITLE Prepared On : 03/02/2023 © 2023 CoreLogic. All rights reserved
Owner
Owner
#19
Geithman David A /
E Sunset Ridge Pl Oro Valley Az 85755

Customer Name : Chantel Cortez

Customer Company Name : FIRST AMERICAN TITLE Prepared On : 03/02/2023

© 2023 CoreLogic. All rights reserved

Subject Property :   1700 E Royal Ridge Way Oro Valley AZ 85755

Customer Name : Chantel Cortez

Customer Company Name : FIRST AMERICAN TITLE Prepared On : 03/02/2023 © 2023 CoreLogic. All rights reserved

Arizona Schools For detailed information and statistics on Arizona schools please go to https://azreportcards.azed.gov/ First American Title Insurance Company, and the operating divisions thereof, make no express or implied warranty respecting the information presented and assume no responsibility for errors or omissions. First American, the eagle logo, First American Title, and firstam.com are registered trademarks or trademarks of First American Financial Corporation and/or its affiliates. ©2021 First American Financial Corporation and/or its affiliates. All rights reserved. NYSE: FAF 05117910421

PIMA COUNTY

School District Information

This map is provided for general location only. Please contact school districts for actual street boundaries

05249570321 TUCSON INT'L AIRPORT Air Force WSilverbellRd SSantaRitaRd N M t L emmon Hwy ESascoRd NF38 W Avra Valley Rd E Grand Va ey Dr NAguirre R d N L u c k e R d N W e n t z R d N Wa terman Mounta i n R d N Anway Rd W El Tiro Rd N Trico Rd W Tucker Rd W Rudas l Rd W Manvi e Rd SSanJoaquinRd WBopp Rd W Snyder H l Rd S M a r s e a r R d W Park Rd W Hermans Rd W Hermans Rd W Guy St W Bush Rd S G a v e y R d N C a e R i n c o n a d o S W m o R d S Shaw Rd S Sierrita Mountain Rd S K o b R d W TwinButtes Rd W Mcgee Ranch Rd S E s t a n c a D r EDesertDove E Hemlock Dr N Bea r C a n y o n R d W E Camino Del Cerro E Fairmount St S Swan Rd NFrontageRd W Emigh Rd W Fort Lowe Rd N P u m p S t a t ion dR E Nona Rd Ch efButteRd Lo al Ave N Trico Rd S Cattle Tank Rd Evalyn Rd SOwlHead R a n c h Rd GasLineRd S P ec a n R d N T r c o R d W Bayard Rd S S a n d a r o R d W i l l owSpri n gsRd N Dove Mountain Blvd SHelvetiaRd WAnamax Mine Rd W G a c i a R a n hc R d Road424 WRagged Top Rd W Ruby Star Dr WBritten RanchRd W Pima Mine Rd S Mcgee Ranch R d E Edw n Rd SGuildRd 8 0 NKINNEYRD S PICACHO HWY E BAUMGARTNER RD N S A N D A R I O R D N ANWAY RD W VALENCIA RD W MOORE RD W INA RD N 1 S T A V E E SUNRISE DR E SNYDER RD NSILVERBELLRD N S O L D I E R T R L E RIVER RD E PRINCE RD E SPEEDWAY BLVD S FREEMAN RD E 22ND ST E 22ND ST W IRVINGTON RD S N O G A L E S H W Y W VALENCIA RD SMISSIONRD W SPEEDWAY BLVD S O L D S P A N I S H T RL W NARANJA DR W TWIN PEAKS RD W PICTURE ROCKS RD W MANVILLE RD SKINNEYRD W MILE WIDE RD E SAHUARITA RD N TRICO RD S S A N D A R O R D PARK LINK DR S OLD N O G ALES HW Y S H O U G H T O N R D S L A C A N A D A DR W HELMET PEAK RD WAJOHWY N S W A N R D S KOLB RD S HOUGHTON RD W TANGERINE RD E GRANT RD S H O U G H T O N R D 9 5 WAJOHWY E VALENCIA RD NORACLE R D I10 I-19 77 77 77 86 86 286 10 19 10 10 Corona de Tucson Casas Adobes Catalina Green Valley Oracle Picture Rocks Three Points Vail Summit Tanque Verde Tucson Sahuarita Red Rock Saddlebrooke Marana Oro Valley Rillito Summerhaven Willow Canyon Oracle Junction Cortaro Continental Littletown 20 30 13 15 51 39 12 01 01 08 10 16 11 06
SCHOOL DISTRICTS 15 AJO UNIFIED 111 N. Well Road, Ajo, AZ 85321 520.387.5618 51 ALTAR VALLEY ELEMENTARY 10105 S. Sasabe Road, Tucson, AZ 85736 520.822.1484 10 AMPHITHEATER UNIFIED 701 W. Wetmore, Tucson, AZ 85705 520.696.5000 16 CATALINA FOOTHILS UNIFIED 2101 E. River Road, Tucson, AZ 85718 520.209.7500 39 CONTINENTAL ELEMENTARY 1991 E. Whitehouse Canyon, Green Valley, AZ 85614 520.625.4581 08 FLOWING WELLS UNIFIED 1556 W. Prince Road, Tucson, AZ 85705 520.696.8800 06 MARANA UNIFIED 11279 W. Grier Road, Marana, AZ 85653 520.682.3243 11 PIMA COUNTY JTED 2855 W. Master Pieces Dr, Tucson, AZ 85741 520.352.5833 30 SAHUARITA UNIFIED 350 W. Sahuarita Road, Sahuarita, AZ 85629 520.625.3502 12 SUNNYSIDE UNIFIED 2238 E. Ginter Road, Tucson, AZ 85706 520.545.2000 13 TANQUE VERDE UNIFIED 2300 N. Tanque Verde Loop, Tucson, AZ 85749 520.749.5751 01 TUCSON UNIFIED 1010 E. 10th Street, Tucson, AZ 85717 520.225.6000 20 VAIL UNIFIED 10701 E. Mary Ann Cleveland Way, Tucson, AZ 85747 520.879.2000 First American Title Insurance Company, and the operating divisions thereof, make no express or implied warranty respecting the information presented and assume no responsibility for errors or omissions. First American, the eagle logo, First American Title, and firstam.com are registered trademarks or trademarks of First American Financial Corporation and/or its affiliates. ©2021 First American Financial Corporation and/or its affiliates. All rights reserved. NYSE: FAF

Public Schools :

Elementary Schools

Coronado K-8 School Distance 1.53 Miles 3401 E Wilds Rd Tucson AZ 85739

Telephone : (520) 696-6626

Lowest Grade : Pre-K

Kindergarten : Yes

Enrollment : 785

School District : Amphitheater Unified District (4406)

Highest Grade : 8th

School Enrollment :

Total Expenditure/Student : 132

Customer Name : Chantel Cortez Customer Company Name : FIRST AMERICAN TITLE Prepared On : 03/02/2023 © 2023 CoreLogic. All rights reserved

Local Business Attractions / Recreation Name Address Telephone Distance (Miles) Desert Oasis Recreation Center 14650 N Sun City Blvd Oro Valley Az (520) 825-0495 0.34 D&j Rv Park Llc 1884 E Singing Bow Way Oro Valley Az (303) 519-4648 0.42 Scov Astronomy Club 14369 N Lost Arrow Dr Oro Valley Az (307) 733-6544 0.42 Northwest Tucson Bridge Club, Inc. 1171 E Rncho Vstoso Blvd Oro Valley Az (520) 447-5724 0.63 Banks / Financial Name Address Telephone Distance (Miles) Bank Of The West 1171 E Rnch Vistos Blvd Oro Valley Az (520) 825-2600 0.63 Eating / Drinking Name Address Telephone Distance (Miles) The Views Restaurant 1555 E Rncho Vistoso Blvd Oro Valley Az (520) 825-3277 0.7 Health Care Services Name Address Telephone Distance (Miles) J. Mike Ross, Ph.d., Pllc 14431 N Glen Hollow Pl Oro Valley Az (512) 983-1120 0.37 Senior Home Care Of Tucson, Llc 1171 E Rancho Vistoso Blv Oro Valley Az (520) 355-4787 0.63 Fatima Villa Oro Valley 1119 E Rncho Vistoso Blvd Oro Valley Az (520) 903-4099 0.69 Copper Health Oro Valley, Llc 1119 E Rncho Vistoso Blvd Oro Valley Az (520) 825-4669 0.69 Hospitality Name Address Telephone Distance (Miles) Oak Hill Bed Breakfast 14068 N Trade Winds Way Oro Valley Az (541) 621-6121 0.86 Customer Name : Chantel Cortez Customer Company Name : FIRST AMERICAN TITLE Prepared On : 03/02/2023 © 2023 CoreLogic. All rights reserved
Associations Name Address Telephone Distance (Miles) Vistoso Community Church 1200 E Rncho Vistoso Blvd Oro Valley Az (520) 825-0652 0.62 Faith Community Churches Intl. 2442 E Nasturtium St Oro Valley Az (520) 360-0787 0.96 Shopping Name Address Telephone Distance (Miles) Out Of Glass 979 E Coachwood Dr Oro Valley Az (520) 825-2223 0.6 Customer Name : Chantel Cortez Customer Company Name : FIRST AMERICAN TITLE Prepared On : 03/02/2023 © 2023 CoreLogic. All rights reserved
Organizations /

1714 E ROYAL RIDGE WAY Distance 0.02 Miles

Owner Name : Goodman Randall L Subdivision : Sun City Vistoso

Sale Date : 05/24/2022

Total Value : $286,195

Recording Date : 06/01/2022

Sale Price  : $471,500

Bed / Bath : / 3 Property Tax : $3,503.24

Land Use : Sfr Lot Acres : 0.17

Stories : 1

Living Area : 2,034

Yr Blt / Eff Yr Blt : 1993 / APN : 223-06-3070

1725 E ANZA WAY Distance 0.02 Miles

Owner Name : Rigby Subdivision : Sun City Vistoso

Sale Date : 06/19/2009

Recording Date : 07/29/2009

Total Value : $262,468 Sale Price  : $275,000

Bed / Bath : / 3 Property Tax : $3,208.54

Land Use : Sfr Lot Acres : 0.21

Stories : 1

Living Area : 1,858

Yr Blt / Eff Yr Blt : 1994 / APN : 223-06-2880

14678 N LOST ARROW DR Distance 0.03 Miles

Owner Name : Roberts Fred T Subdivision : Sun City Vistoso

Sale Date : 09/25/2013

Total Value : $303,041

Bed / Bath : / 4

Land Use : Sfr

Stories : 1

Recording Date : 10/03/2013

Sale Price  : $357,000

Property Tax : $3,717.13

Lot Acres : 0.17

Living Area : 2,251

Yr Blt / Eff Yr Blt : 1993 / APN : 223-06-3090

1735 E ANZA WAY Distance 0.03 Miles

Owner Name : Hoskins Richard S

Sale Date : 11/08/2001

Total Value : $259,332

Bed / Bath : / 3

Land Use : Sfr

Stories : 1

Subdivision : Sun City Vistoso

Recording Date : 11/15/2001

Sale Price  : $180,000

Property Tax : $3,160.85

Lot Acres : 0.15

Living Area : 1,818

Yr Blt / Eff Yr Blt : 1994 / APN : 223-06-2890

Customer Name : Chantel Cortez

Customer Company Name : FIRST AMERICAN TITLE Prepared On : 03/02/2023

© 2023 CoreLogic. All rights reserved

1728 E ROYAL RIDGE WAY Distance 0.03 Miles

Owner Name : Tucek Arthur J Subdivision : Sun City Vistoso

Sale Date : 08/21/2012

Total Value : $258,975

Bed / Bath : / 3

Recording Date : 08/29/2012

Sale Price  : $211,950

Property Tax : $3,579.01

Land Use : Sfr Lot Acres : 0.17

Stories : 1

Living Area : 1,818

Yr Blt / Eff Yr Blt : 1993 / APN : 223-06-3060

14663 N LOST ARROW DR Distance 0.03 Miles

Owner Name : Herbert C Subdivision : Sun City Vistoso

Sale Date : 03/09/2000

Total Value : $303,461

Bed / Bath : / 3

Land Use : Sfr

Stories : 1

Recording Date : 03/27/2000

Sale Price  : $285,000

Property Tax : $4,343.73

Lot Acres : 0.18

Living Area : 1,996

Yr Blt / Eff Yr Blt : 1993 / APN : 223-06-2330

14709 N SILVER HAWK DR Distance 0.03 Miles

Owner Name : Unger Joyce B

Sale Date : 05/00/1994

Total Value : $251,473

Bed / Bath : / 3

Land Use : Sfr

Stories : 1

Subdivision : Sun City Vistoso

Recording Date : 06/03/1994

Sale Price  : $147,175

Property Tax : $3,035.51

Lot Acres : 0.19

Living Area : 1,714

Yr Blt / Eff Yr Blt : 1994 / APN : 223-06-3260

14669 N LOST ARROW DR Distance 0.03 Miles

Owner Name : Rollefson Michael R Subdivision : Sun City Vistoso

Sale Date : 04/20/2016

Total Value : $288,404

Bed / Bath : / 3

Land Use : Sfr

Stories : 1

Recording Date : 04/27/2016

Sale Price  : $315,000

Property Tax : $4,114.60

Lot Acres : 0.19

Living Area : 1,818

Yr Blt / Eff Yr Blt : 1993 / APN : 223-06-2320

Customer Name : Chantel Cortez

Customer Company Name : FIRST AMERICAN TITLE Prepared On : 03/02/2023

© 2023 CoreLogic. All rights reserved

14657 N LOST ARROW DR Distance 0.03 Miles

Owner Name : La Brie Jacque J Subdivision : Sun City Vistoso

Sale Date : 09/18/2014

Total Value : $302,225

Recording Date : 09/29/2014

Sale Price  : $330,000

Bed / Bath : / 3 Property Tax : $3,808.34

Land Use : Sfr Lot Acres : 0.17

Stories : 1

Living Area : 2,045

Yr Blt / Eff Yr Blt : 1993 / APN : 223-06-2340

14677 N LOST ARROW DR Distance 0.04 Miles

Owner Name : Watkins Paul R Subdivision : Sun City Vistoso

Sale Date : 04/25/2016

Total Value : $291,875

Recording Date : 04/29/2016

Sale Price  : $325,000

Bed / Bath : / 3 Property Tax : $4,168.87

Land Use : Sfr Lot Acres : 0.17

Stories : 1

Living Area : 1,858

Yr Blt / Eff Yr Blt : 1993 / APN : 223-06-2310

Customer
FIRST AMERICAN TITLE Prepared On : 03/02/2023 © 2023 CoreLogic. All rights reserved
Customer Name : Chantel Cortez
Company Name :
Census Tract / block: 46.43 / 1     Year: 2018 Household Population Population by Age Count: 4,168 0 - 11 Estimate Current Year: 4,145 12 - 17 Estimate in 5 Years: 4,055 18 - 24 1.99% Growth Last 5 Years: -9.31% 25 - 64 22.36% Growth Last 10 Years: -97.1% 65 - 74 27.95% 75+ Household Size Household Income Current Year: 2,244 0 - $25,000 9.14% Average Current Year: 1.86 $25,000 - $35,000 11.05% Estimate in 5 Years: 2,368 $35,000 - $50,000 15.02% Growth Last 5 Years: -4.41% $50,000 - $75,000 19.07% Growth Last 10 Years: -6.12% $75,000 - $100,000 15.02% Male Population: 48.13% Above $100,000 30.7% Female Population: 51.87% Average Household Income: $69,852 Married People: 75.69% Unmarried People: 24.31% Housing Median Mortgage Payments Home Values Under $300: 3.56% Below $100,000: 6.52% $300 - $799: 57.72% $100,000 - $150,000: 0% $800 - $1,999: 31.52% $150,000 - $200,000: 10.95% Over $2,000: 7.21% $200,000 - $300,000: 47.83% Median Home Value: $266,200 $300,000 - $500,000: 30.87% Unit Occupied Owner: 96.43% Above $500,000: 3.84% Median Mortgage: $963
Customer
AMERICAN
© 2023 CoreLogic. All rights reserved
Customer Name : Chantel Cortez
Company Name : FIRST
TITLE Prepared On : 03/02/2023
Rent Payments Year Built Unit Occupied Renter: 3.57% 1999 - 2000 Median Gross Rent: $1,654 1995 - 1998 Less Than $499 0% 1990 - 1994 $500 - $749 0% 1980 - 1989 22.91% $750 - $999 0% 1970 - 1979 1.12% $1000 and Over 100% 1900 - 1969 1.99% Education Enrollment Public Pre-Primary School: 0% Not Enrolled in School: 92.27% Private Pre-Primary School: 0.31% Not A High School Graduate: 2.23% Public School: 6.07% Graduate Of High School: 19.47% Private School: 1.66% Attended Some College: 15.95% Public College: 0.39% College Graduate: 35.76% Private College: 0.55% Graduate Degree: 26.59% Workforce Occupation: Manager/Prof: 56.47% Private Worker: 56.35% Technical: Government Worker: 15.29% Sales: 18.25% Self Employed Worker: 5.18% Administrative: Unpaid Family Worker: 11.96% Private House Hold: Farming: 3.82% Service: 17.76% Skilled: Protective Services: Blue-Collar: 7.52% Commute Time Less Than 15 Min: 35.67% 15 min - 28 min: 22.29% 30 min - 57 min: 30.1% Over 60 min: 11.94% Customer Name : Chantel Cortez Customer Company Name : FIRST AMERICAN TITLE Prepared On : 03/02/2023 © 2023 CoreLogic. All rights reserved

Customer Name : Chantel Cortez

Customer Company Name : FIRST AMERICAN TITLE Prepared On : 03/02/2023

© 2023 CoreLogic. All rights reserved

Customer Name : Chantel Cortez

Customer Company Name : FIRST AMERICAN TITLE Prepared On : 03/02/2023

© 2023 CoreLogic. All rights reserved

Customer Name : Chantel Cortez

Customer Company Name : FIRST AMERICAN TITLE Prepared On : 03/02/2023

© 2023 CoreLogic. All rights reserved

SEARCH PARAMETERS

PARCEL:  223-06-3080

PARCEL: 223-06-3080

OWNER: EAKER CHARLES C & JOANNE JT/RS

SITUS: 1700 E ROYAL RIDGE WY OV

MAIL: 1700 E ROYAL RIDGE WAY

ORO VALLEY AZ 85755-7113

PLAT: LOT 00180 BLOCK

LEGAL: SUN CITY VISTOSO UNIT 7 LOT 180

END SEARCH

+ FIRST AMERICAN TITLE, FC0, CCOR PIMA, AZ 03/02/2023  02:17PM  NKFE  INVESTIGATIVE SEARCH RESULTS PAGE 1 OF 1
INSTRUMENT REC DATE
12595 1011 07/15/2005
INFORMATION THROUGH 01/28/2023 LAND IMPR EXEMPT RATE AREA SPECIAL DISTRICTS PRIMARY  25,463  0  0  8.9703  1013 SECONDARY  50  26,207  0  5.3438  2022 TOTAL TAX BILLED 3,208.54 2022  TAX AMT TAX DUE INTEREST DATE PAID TOTAL DUE FIRST HALF  1,604.27  0.00  0.00  09/28/2022  0.00  SECOND HALF  1,604.27  1,604.27  0.00  1,604.27  TOTAL CURRENT TAXES DUE 03/23 1,604.27 04/23 1,604.27 (ESTIMATED) IMPROVEMENTS BYPASS  BLDG SQFT  1,858 FULL CASH VALUE  262,576 YEAR BUILT  1994 LAND USE  01 43 NUMBER OF STORIES  1.0 LOT SIZE  1 STDLT STORIES HEIGHT  0 SCHOOL DISTRICT  1013 EXTERIOR WALLS  FRAME WOOD LAND FULL CASH VALUE  502 GRADE MATERIALS IMPR FULL CASH VALUE  262,074 SALES SALE DATE SALE AMOUNT INSTRUMENT TYPE SELLER NAME VALIDITY 07/15/2005 330,000    12595 1011 WD OSENBAUGH K W/T W TRUSTEE 06/28/1994 161,600    9823 2517 SD DEL WEBB COMMUNITIES INC
STANDARD LAND USE: SFR
CURRENT TAXES
ADDITIONAL PROPERTY INFORMATION
Page 1 of 13 03/02/2023 3:19 PM
Page 2 of 13 03/02/2023 3:19 PM
Page 3 of 13 03/02/2023 3:19 PM
Page 4 of 13 03/02/2023 3:19 PM
Page 5 of 13 03/02/2023 3:19 PM
Page 6 of 13 03/02/2023 3:19 PM
Page 7 of 13 03/02/2023 3:19 PM
Page 8 of 13 03/02/2023 3:19 PM
Page 9 of 13 03/02/2023 3:19 PM
Page 10 of 13 03/02/2023 3:19 PM
Page 11 of 13 03/02/2023 3:19 PM
Page 12 of 13 03/02/2023 3:19 PM
Page 13 of 13 03/02/2023 3:19 PM
Page 1 of 3 03/02/2023 3:19 PM
Page 2 of 3 03/02/2023 3:19 PM
Page 1 of 3 03/02/2023 3:19 PM
Page 2 of 3 03/02/2023 3:19 PM
Page 1 of 2 03/02/2023 3:19 PM
Page 2 of 2 03/02/2023 3:19 PM
Page 1 of 1 03/02/2023 3:19 PM

Covenants, Conditions & Restrictions

Thank you for the opportunity to be of service.

Restrictions indicating a preference, limitation or discrimination based on race, color, religion, sex, handicap, familial status, or national origin are hereby deleted to the extent such restrictions violate 42 USC 3604(c).

This information is furnished without fee and without benefit of a complete title search. No liability is assumed by First American Title or Title Security. If it is desired that liability be assumed, you may apply for a policy of title insurance with First American Title Insurance Company.
Page 1 of 14 04/04/2011 11:02 AM
Page 2 of 14 04/04/2011 11:02 AM
Page 3 of 14 04/04/2011 11:02 AM
Page 4 of 14 04/04/2011 11:02 AM
Page 5 of 14 04/04/2011 11:02 AM
Page 6 of 14 04/04/2011 11:02 AM
Page 7 of 14 04/04/2011 11:02 AM
Page 8 of 14 04/04/2011 11:02 AM
Page 9 of 14 04/04/2011 11:02 AM
Page 10 of 14 04/04/2011 11:02 AM
Page 11 of 14 04/04/2011 11:02 AM
Page 12 of 14 04/04/2011 11:02 AM
Page 13 of 14 04/04/2011 11:02 AM
Page 14 of 14 04/04/2011 11:02 AM
Page 1 of 4 04/04/2011 11:02 AM
Page 2 of 4 04/04/2011 11:02 AM
Page 3 of 4 04/04/2011 11:02 AM
Page 4 of 4 04/04/2011 11:02 AM

Turn static files into dynamic content formats.

Create a flipbook
Issuu converts static files into: digital portfolios, online yearbooks, online catalogs, digital photo albums and more. Sign up and create your flipbook.
Digital Listing Kit 1700 E. Royal Ridge by FirstAmAZ - Issuu