956 E Placita Luna Bonita

Page 1

Data Provided By: First American Title Ins Co

956 W Placita Luna Bonita Oro Valley AZ 85755 APN: 219-50-2260
Subject Property
© 2023 CoreLogic. All rights reserved

LIMITATION OF LIABILITY FOR INFORMATIONAL REPORTS

IMPORTANT -- PLEASE READ CAREFULLY:

This report is not an insured product or service or a representation of the condition of title to real property. It is not an abst ract, legal opinion, opinion of title, title insurance commitment or preliminary report, or any form of Title Insurance or Guaranty. This report is issued exclusively for the benefit of the Applicant therefor and may not be used or relied upon by any other person. This report may not be reproduced in any manner without First American or Title Security's prior written consent. First American or Title Security does not represent or warrant that the information herein is complete or free from error, and the information herein is provided without any warranties of any kind, as-is, and with all faults. As a material part of the consideration given in exchange for the issuance of this report, recipient agrees that First American or Title Security's sole liability for any loss or damage caused by an error or omission due to inaccurate information or negligence in preparing this report shall be limited to the fee charged for the report. Recipient accepts this report with this limitation and agrees that First American or Title Security would not have issued this report but for the limitation of liability described above. First American or Title Security makes no representation or warranty as to the legality or propriety of recipient's use of the information herein.

Disclaimer

This REiSource report is provided "as is" without warranty of any kind, either express or implied, including without limitations any warrantees of merchantability or fitness for a particular purpose. There is no representation of warranty that this information is complete or free from error, and the provider does not assume, and expressly disclaims, any liability to any person or entity for loss or damage caused by errors or omissions in this REiSource report without a title insurance policy.

The information contained in the REiSource report is delivered from your Title Company, who reminds you that you have the right as a consumer to compare fees and serviced levels for Title, Escrow, and all other services associated with property ownership, and to select providers accordingly. Your home is the largest investment you will make in your lifetime and you should demand the very best.

Data Provided By: First American Title Ins Co
© 2023 CoreLogic. All rights reserved

Subject Property :   956 W Placita Luna Bonita Oro Valley AZ 85755

Owner Information

Owner Name : Blackman Stanley N / Blackman Susan M

Mailing Address : 12594 N Yellow Bird Rd, Oro Valley AZ 85755-7416 R139

Vesting Codes : / / Community Property

Owner Occupied Indicator : A

Location Information

Legal Description : Moonridge Lot 0015

County : Pima, Az

Census Tract / Block : 46.41 / 1

Township-Range- Sect : 11S-13E-35

Legal Book/Page : 51-72

Legal Lot : 15

Market Area : 423

Last Market Sale Information

Recording/Sale Date : 06/20/2014 / 06/19/2014

Sale Price : $70,000

Document # : 1710093

Title Company : Fidelity Nat'l Title Agcy Inc

Seller Name : Milczarek-de Fellippis M E

Prior Sale Information

Prior Rec/Sale Date : 06/28/2002 / 06/11/2002

Prior Sale Price : $98,000

Property Information

Land Use : Residential Lot Zoning : R1-20

County Use : Vac-res-rural Subd Lot Acres : 0.96

APN : 219-50-2260

Subdivision : Moonridge

Map Reference : 35-11S-13E

School District : Amphitheater

Munic/Township : Amphitheater

Deed Type : Warranty Deed

Price Per SqFt : $1.67

Prior Doc Number : 11831-4869

Prior Deed Type : Special Warranty Deed

Lot Size : 41,669

State Use : Vac-res-rural Subd

© 2023 CoreLogic. All rights reserved

Customer Name : Lisa Mrazek Customer Company Name : First American Title Insurance Company Prepared On : 04/06/2023
Tax Information Total Value : $113,000 Property Tax : $1,918.22 Current Assessed Year : 2023 Total Taxable Value : $13,401 Tax Rate Area : 1012 Current Year Total Value : $18,750 Assessed Year : 2022 Market Value : $113,000 Current Year Land Value : $18,750 Tax Year : 2022
Customer Name : Lisa Mrazek
American
Prepared On : 04/06/2023 © 2023 CoreLogic. All rights reserved
Customer Company Name : First
Title Insurance Company
Sales Analysis Criteria Subject Property Low High Average Sale Price $70,000 $140,000 $998,000 $458,000 Bldg/Living Area Price Per Square Foot $1.67 $2 $30 $10.16 Year Built Lot Size 41,669 20,042 161,608 56,801 Bedrooms Bathrooms Stories Total Assessed Value $113,000 $63,000 $124,000 $93,748 Distance From Subject 0 0.29 0.93 0.54
Customer
: First American Title Insurance Company Prepared On : 04/06/2023 © 2023 CoreLogic. All rights reserved
Customer Name : Lisa Mrazek
Company Name

Customer Name : Lisa Mrazek

Customer Company Name : First American Title Insurance Company Prepared On : 04/06/2023

© 2023 CoreLogic. All rights reserved

Map

Details of Comparables

Property: 956 W Placita Luna Bonita Oro Valley Az 85755
Name: Blackman Stanley N /Blackman Susan M APN / Alternate APN: 219-50-2260 / Deed Type: Warranty Deed Land Use: Residential Lot Subdivision / Tract: Moonridge / Lot Size: 41,669 Year Built / Eff: / Rec. Date / Price: 06/20/2014 / $70,000 Living Area: # of units: Document #: 1710093 Bedrooms: Pool: Total Tax Value: $113,000 Bath(F/H): / #1   755 W Sedona Ridge Pl Oro Valley Az 85755 Owner Name: Quinlan Property / APN / Alternate APN: 219-50-0310 / Deed Type: Warranty Deed Land Use: Residential Lot Subdivision / Tract: Sunridge 02 / Lot Size: 28,346 Year Built / Eff: / Rec. Date / Price: 04/27/2022 / $850,000 Living Area: # of units: Document #: 1170132 Bedrooms: Pool: Total Tax Value: $63,000 Bath(F/H): / #2   12457 N Piping Rock Rd Oro Valley Az 85755 Owner Name: Anderson Steven J /Anderson Laurie S APN / Alternate APN: 219-50-0560 / Deed Type: Warranty Deed Land Use: Residential Lot Subdivision / Tract: Sunridge 02 / Lot Size: 20,042 Year Built / Eff: / Rec. Date / Price: 04/11/2022 / $140,000 Living Area: # of units: Document #: 1010204 Bedrooms: Pool: Total Tax Value: $64,000 Bath(F/H): / #3   597 W Granite View Dr Oro Valley Az 85755 Owner Name: Sansbury Greg / APN / Alternate APN: 219-50-4240 / Deed Type: Warranty Deed Land Use: Residential Lot Subdivision / Tract: Rancho Vistoso Nbrhd 07 / Lot Size: 61,773 Year Built / Eff: / Rec. Date / Price: 01/31/2023 / $175,000 Living Area: # of units: Document #: 310160 Bedrooms: Pool: Total Tax Value: $120,000 Bath(F/H): / #4   12579 N Vistoso View Pl Oro Valley Az 85755 Owner Name: Vining Matthew /Vining Jessica APN / Alternate APN: 219-50-4140 / Deed Type: Warranty Deed Land Use: Residential Lot Subdivision / Tract: Rancho Vistoso Nbrhd 07 / Lot Size: 30,225 Year Built / Eff: / Rec. Date / Price: 05/12/2022 / $275,000 Living Area: # of units: Document #: 1320540 Bedrooms: Pool: Total Tax Value: $121,000 Bath(F/H): / Customer
Mrazek Customer Company Name : First American Title Insurance Company Prepared On : 04/06/2023 © 2023 CoreLogic. All rights reserved
Subject
Owner
Name : Lisa

Owner Name: Simpson Lauren N /

Owner Name: Naas Levi C /Lewis Deborah N

#5   12686 N Vistoso View Pl Oro Valley Az 85755
APN / Alternate APN: 219-50-4020 / Deed Type: Warranty Deed Land Use: Residential Lot Subdivision / Tract: Rancho Vistoso Nbrhd 07 / Lot Size: 38,811 Year Built / Eff: / Rec. Date / Price: 11/01/2022 / $998,000 Living Area: # of units: Document #: 3050263 Bedrooms: Pool: Total Tax Value: $124,000 Bath(F/H): /
#6   1570 W Tangerine Rd Oro Valley Az 85755
APN / Alternate APN: 219-47-013B / Deed Type: Warranty Deed Land Use: Residential Lot Subdivision / Tract: / Lot Size: 161,608 Year Built / Eff: / Rec. Date / Price: 04/19/2022 / $310,000 Living Area: # of units: Document #: 1090775 Bedrooms: Pool: Total Tax Value: $70,490 Bath(F/H): /
Customer
First American Title Insurance
Prepared On
04/06/2023 © 2023 CoreLogic. All rights reserved
Customer Name : Lisa Mrazek
Company Name :
Company
:

Customer Name : Lisa Mrazek

Customer Company Name : First American Title Insurance Company Prepared On : 04/06/2023

© 2023 CoreLogic. All rights reserved

Subject Property :   956 W Placita Luna Bonita Oro Valley AZ 85755

Customer Name : Lisa Mrazek

Customer Company Name : First American Title Insurance Company Prepared On : 04/06/2023 © 2023 CoreLogic. All rights reserved

Arizona Schools For detailed information and statistics on Arizona schools please go to https://azreportcards.azed.gov/ First American Title Insurance Company, and the operating divisions thereof, make no express or implied warranty respecting the information presented and assume no responsibility for errors or omissions. First American, the eagle logo, First American Title, and firstam.com are registered trademarks or trademarks of First American Financial Corporation and/or its affiliates. ©2021 First American Financial Corporation and/or its affiliates. All rights reserved. NYSE: FAF 05117910421

PIMA COUNTY

School District Information

This map is provided for general location only. Please contact school districts for actual street boundaries

05249570321 TUCSON INT'L AIRPORT Air Force WSilverbellRd SSantaRitaRd N M t L emmon Hwy ESascoRd NF38 W Avra Valley Rd E Grand Va ey Dr NAguirre R d N L u c k e R d N W e n t z R d N Wa terman Mounta i n R d N Anway Rd W El Tiro Rd N Trico Rd W Tucker Rd W Rudas l Rd W Manvi e Rd SSanJoaquinRd WBopp Rd W Snyder H l Rd S M a r s e a r R d W Park Rd W Hermans Rd W Hermans Rd W Guy St W Bush Rd S G a v e y R d N C a e R i n c o n a d o S W m o R d S Shaw Rd S Sierrita Mountain Rd S K o b R d W TwinButtes Rd W Mcgee Ranch Rd S E s t a n c a D r EDesertDove E Hemlock Dr N Bea r C a n y o n R d W E Camino Del Cerro E Fairmount St S Swan Rd NFrontageRd W Emigh Rd W Fort Lowe Rd N P u m p S t a t ion dR E Nona Rd Ch efButteRd Lo al Ave N Trico Rd S Cattle Tank Rd Evalyn Rd SOwlHead R a n c h Rd GasLineRd S P ec a n R d N T r c o R d W Bayard Rd S S a n d a r o R d W i l l owSpri n gsRd N Dove Mountain Blvd SHelvetiaRd WAnamax Mine Rd W G a c i a R a n hc R d Road424 WRagged Top Rd W Ruby Star Dr WBritten RanchRd W Pima Mine Rd S Mcgee Ranch R d E Edw n Rd SGuildRd 8 0 NKINNEYRD S PICACHO HWY E BAUMGARTNER RD N S A N D A R I O R D N ANWAY RD W VALENCIA RD W MOORE RD W INA RD N 1 S T A V E E SUNRISE DR E SNYDER RD NSILVERBELLRD N S O L D I E R T R L E RIVER RD E PRINCE RD E SPEEDWAY BLVD S FREEMAN RD E 22ND ST E 22ND ST W IRVINGTON RD S N O G A L E S H W Y W VALENCIA RD SMISSIONRD W SPEEDWAY BLVD S O L D S P A N I S H T RL W NARANJA DR W TWIN PEAKS RD W PICTURE ROCKS RD W MANVILLE RD SKINNEYRD W MILE WIDE RD E SAHUARITA RD N TRICO RD S S A N D A R O R D PARK LINK DR S OLD N O G ALES HW Y S H O U G H T O N R D S L A C A N A D A DR W HELMET PEAK RD WAJOHWY N S W A N R D S KOLB RD S HOUGHTON RD W TANGERINE RD E GRANT RD S H O U G H T O N R D 9 5 WAJOHWY E VALENCIA RD NORACLE R D I10 I-19 77 77 77 86 86 286 10 19 10 10 Corona de Tucson Casas Adobes Catalina Green Valley Oracle Picture Rocks Three Points Vail Summit Tanque Verde Tucson Sahuarita Red Rock Saddlebrooke Marana Oro Valley Rillito Summerhaven Willow Canyon Oracle Junction Cortaro Continental Littletown 20 30 13 15 51 39 12 01 01 08 10 16 11 06
SCHOOL DISTRICTS 15 AJO UNIFIED 111 N. Well Road, Ajo, AZ 85321 520.387.5618 51 ALTAR VALLEY ELEMENTARY 10105 S. Sasabe Road, Tucson, AZ 85736 520.822.1484 10 AMPHITHEATER UNIFIED 701 W. Wetmore, Tucson, AZ 85705 520.696.5000 16 CATALINA FOOTHILS UNIFIED 2101 E. River Road, Tucson, AZ 85718 520.209.7500 39 CONTINENTAL ELEMENTARY 1991 E. Whitehouse Canyon, Green Valley, AZ 85614 520.625.4581 08 FLOWING WELLS UNIFIED 1556 W. Prince Road, Tucson, AZ 85705 520.696.8800 06 MARANA UNIFIED 11279 W. Grier Road, Marana, AZ 85653 520.682.3243 11 PIMA COUNTY JTED 2855 W. Master Pieces Dr, Tucson, AZ 85741 520.352.5833 30 SAHUARITA UNIFIED 350 W. Sahuarita Road, Sahuarita, AZ 85629 520.625.3502 12 SUNNYSIDE UNIFIED 2238 E. Ginter Road, Tucson, AZ 85706 520.545.2000 13 TANQUE VERDE UNIFIED 2300 N. Tanque Verde Loop, Tucson, AZ 85749 520.749.5751 01 TUCSON UNIFIED 1010 E. 10th Street, Tucson, AZ 85717 520.225.6000 20 VAIL UNIFIED 10701 E. Mary Ann Cleveland Way, Tucson, AZ 85747 520.879.2000 First American Title Insurance Company, and the operating divisions thereof, make no express or implied warranty respecting the information presented and assume no responsibility for errors or omissions. First American, the eagle logo, First American Title, and firstam.com are registered trademarks or trademarks of First American Financial Corporation and/or its affiliates. ©2021 First American Financial Corporation and/or its affiliates. All rights reserved. NYSE: FAF

Public Schools :

Elementary Schools

The Innovation Academy Distance 0.68 Miles

825 W Desert Fairways Dr Oro Valley AZ 85755

Telephone : (520) 269-4610

Lowest Grade : Pre-K

Kindergarten : Yes

Enrollment : 444

School District : Amphitheater Unified District (4406)

Highest Grade : 5th

School Enrollment :

Total Expenditure/Student : 132

Leman Academy Of Excellence-oro Valley Arizona Distance 0.8 Miles

1410 W Tangerine Rd Oro Valley AZ 85755

Telephone : (520) 912-4005

Lowest Grade : K

Kindergarten : Yes

Enrollment : 749

School District : Leman Academy Of Excellence Inc. (92730)

Highest Grade : 8th

School Enrollment :

Total Expenditure/Student :

Painted Sky Elementary School Distance 0.95 Miles

12620 N Woodburne Ave Oro Valley AZ 85755

Telephone : (520) 696-3800

Lowest Grade : Pre-K

Kindergarten : Yes

Enrollment : 398

School District : Amphitheater Unified District (4406)

Highest Grade : 5th

School Enrollment :

Total Expenditure/Student : 132

Customer Name : Lisa Mrazek
rights
Customer Company Name : First American Title Insurance Company Prepared On : 04/06/2023
© 2023 CoreLogic. All
reserved

Copper Creek Elementary School Distance 1.12 Miles

11620 N Copper Spring Trl Tucson AZ 85737

Telephone : (520) 696-6800

Lowest Grade : Pre-K

Kindergarten : Yes

School District : Amphitheater Unified District (4406)

Highest Grade : 5th

School Enrollment : Enrollment : 381

Total Expenditure/Student : 132

High Schools

Pcjted - Ironwood Ridge High School Distance 2.68 Miles

2475 W Naranja Dr Oro Valley AZ 85742

Telephone : (520) 696-3902

Lowest Grade : 9th

School District : Pima County Jted (89380)

Highest Grade : 12th

School Enrollment : Enrollment : 0

Total Expenditure/Student : Advanced Placement : No

Ironwood Ridge High School Distance 2.68 Miles

2475 W Naranja Dr Oro Valley AZ 85742

Telephone : (520) 696-3902

Lowest Grade : 9th

School District : Amphitheater Unified District (4406)

Highest Grade : 12th

School Enrollment : Enrollment : 1713

Total Expenditure/Student : 132

Advanced Placement : No

Basis Oro Valley Distance 2.98 Miles

11155 N Oracle Rd Oro Valley AZ 85737

Telephone : (520) 308-5220

Lowest Grade : 5th

School District : Basis Charter Schools Inc. (90508)

Highest Grade : 12th

School Enrollment : Enrollment : 626

Total Expenditure/Student : Advanced Placement : No

© 2023 CoreLogic. All rights reserved
Customer
Name
:
Lisa Mrazek Customer Company Name : First American Title Insurance Company Prepared On : 04/06/2023
Local Business Attractions / Recreation Name Address Telephone Distance (Miles) Fortheluvvamusic Entertainment 933 W Leatherleaf Dr Oro Valley Az (520) 977-5094 0.32 Mayfield Presentations 12251 N Copper Spring Trl Oro Valley Az (816) 532-8702 0.38 In Play Golf, Llc 12944 N Desert Olive Dr Oro Valley Az (520) 331-3134 0.47 Tucson Repertory Orchestra Inc. 937 W Cork Oak Pl Tucson Az (520) 297-5104 0.49 Banks / Financial Name Address Telephone Distance (Miles) Guild Mortgage Company 12318 N Tall Grass Dr Oro Valley Az (520) 498-4700 0.29 Wells Fargo Bank, National Association 550 E Tangerine Rd Oro Valley Az (520) 219-2080 1.52 Bank Of America, National Association 12132 N Rncho Vstoso Blvd Oro Valley Az (520) 297-8757 1.57 Nova Financial & Investment Corporation 11115 N La Canada Dr # 15 Tucson Az (520) 219-4400 1.91 Eating / Drinking Name Address Telephone Distance (Miles) Hifalutin Inc 12687 N Red Eagle Dr Oro Valley Az (520) 297-0518 0.25 Haus Of Brats Llc 12670 N Spirit Mtn Rd Oro Valley Az (520) 360-0092 0.34 Spotlights Grill Llc 12759 N Morgan Ranch Rd Oro Valley Az (520) 241-7016 0.37 Friendly Home Services Llc 12861 N Desert Olive Dr Oro Valley Az (520) 838-1503 0.38 Health Care Services Name Address Telephone Distance (Miles) Stuart A Hughes Dds 976 W Placita Luna Bonita Oro Valley Az (520) 544-7375 0.05 Arizona Community Physicians, P.c. 12579 N Red Eagle Dr Oro Valley Az (520) 825-2520 0.22 Innovation Clinical Research, Llc 12739 N Red Eagle Dr Oro Valley Az (520) 797-2080 0.28 Lindsay Kargman, M.d., Pllc 720 W Sedona Ridge Pl Oro Valley Az (520) 747-3217 0.35 Customer Name : Lisa Mrazek Customer Company Name : First American Title Insurance Company Prepared On : 04/06/2023 © 2023 CoreLogic. All rights reserved
Hospitality Name Address Telephone Distance (Miles) Sonoran Sea Resort 502 E, Llc 11858 N Verismo Dr Oro Valley Az (702) 727-9235 0.98 Wyndham Resort Development Corporation 13355 N Hidden Springs Dr Oro Valley Az (520) 498-6406 1.25 Hilton Worldwide 10555 N La Canada Dr Oro Valley Az (520) 544-1900 2.23 Mrhp Marana, Inc. 10891 N Canada Hills Ct Oro Valley Az (520) 742-7082 2.48 Organizations / Associations Name Address Telephone Distance (Miles) Joanne Zich Ministries 13036 N Desert Olive Dr Oro Valley Az (520) 498-5063 0.57 Chabad Of Oro Valley Inc. 1217 W Faldo Dr Tucson Az (520) 477-8672 0.74 Freethought Arizona 13401 N Rancho Vistoso Bl Oro Valley Az (520) 434-9710 1.23 Church Of The Apostles 12111 N La Cholla Blvd Ac Tucson Az (520) 544-9660 1.62 Personal Services Name Address Telephone Distance (Miles) Judgefitness, Llc 985 W Thornbush Pl Tucson Az (520) 544-7339 0.37 Minnaz Enterprises Inc 422 W Klinger Canyon Dr Oro Valley Az (520) 575-0189 1.0 Ventana Spa 11926 N Crescendo Dr Tucson Az (520) 878-8194 1.1 Desert Day Spa, Llc 12460 N Rncho Vistso Blvd Oro Valley Az (520) 544-8822 1.13 Shopping Name Address Telephone Distance (Miles) Oro Valley Coffee Roasting, Llc 12535 N Placita El Cobo Tucson Az (907) 378-8599 0.48 Fire On The Mountain 1022 W Blue Crest Dr Oro Valley Az (520) 289-0282 0.61 Catalina Aromatherapy & Herbal Supply 13168 N Woosnam Way Oro Valley Az (410) 206-8699 0.79 Mai Thai Coffee, Inc. 910 W Graythorn Pl Tucson Az (520) 797-4440 0.84 Customer Name : Lisa Mrazek Customer Company Name : First American Title Insurance Company Prepared On : 04/06/2023 © 2023 CoreLogic. All rights reserved

946 W PLACITA LUNA BONITA Distance 0.03 Miles

Owner Name : Wintory Richard M Subdivision : Moonridge

Sale Date : 02/00/2004

Total Value : $523,398

Recording Date : 02/13/2004

Sale Price  : $136,100

Bed / Bath : / 4 Property Tax : $6,891.99

Land Use : Sfr Lot Acres : 0.60

Stories : 1

Living Area : 3,008

Yr Blt / Eff Yr Blt : 2005 / APN : 219-50-2250

12594 N YELLOW BIRD RD Distance 0.03 Miles

Owner Name : Blackman Stanley N Subdivision : Vistoso Hlnds

Sale Date : 10/09/2007

Total Value : $491,769

Recording Date : 10/15/2007

Sale Price  : $655,000

Bed / Bath : / 4 Property Tax : $6,439.28

Land Use : Sfr Lot Acres : 0.58

Stories : 1

Living Area : 2,675

Yr Blt / Eff Yr Blt : 2006 / APN : 219-49-0240

976 W PLACITA LUNA BONITA Distance 0.04 Miles

Owner Name : Hughes Stuart A Subdivision : Moonridge

Sale Date : 04/00/2004

Total Value : $476,814

Bed / Bath : / 4

Land Use : Sfr

Stories : 1

Recording Date : 05/26/2004

Sale Price  : $535,000

Property Tax : $6,225.13

Lot Acres : 0.76

Living Area : 2,834

Yr Blt / Eff Yr Blt : 2003 / APN : 219-50-2280

936 W PLACITA LUNA BONITA Distance 0.04 Miles

Owner Name : Lorenzen Real Estate Tr Subdivision : Moonridge

Sale Date : 11/00/2002

Total Value : $494,535

Bed / Bath : / 4

Land Use : Sfr

Stories : 1

Recording Date : 11/25/2002

Sale Price  : $465,500

Property Tax : $6,478.89

Lot Acres : 0.55

Living Area : 3,040

Yr Blt / Eff Yr Blt : 2002 / APN : 219-50-2240

Customer Name : Lisa Mrazek

Customer Company Name : First American Title Insurance Company Prepared On : 04/06/2023

© 2023 CoreLogic. All rights reserved

966 W PLACITA LUNA BONITA Distance 0.04 Miles

Owner Name : Stingl Subdivision : Moonridge

Sale Date : 07/13/2012

Total Value : $497,512

Bed / Bath : / 4

Recording Date : 07/19/2012

Sale Price  : $420,000

Property Tax : $6,521.38

Land Use : Sfr Lot Acres : 0.48

Stories : 1

Living Area : 3,041

Yr Blt / Eff Yr Blt : 2003 / APN : 219-50-2270

989 W DANCING RAIN CT Distance 0.04 Miles

Owner Name : Mitchell-anctil Fam Livi Trust Subdivision : Vistoso Estates

Sale Date : 03/19/2019

Total Value : $515,615

Recording Date : 03/27/2019

Sale Price  : $556,500

Bed / Bath : / 3 Property Tax : $6,780.59

Land Use : Sfr

Stories : 1

Lot Acres : 0.56

Living Area : 2,957

Yr Blt / Eff Yr Blt : 2002 / APN : 219-50-2720

1020 W GREEN PEBBLE DR Distance 0.05 Miles

Owner Name : Roberts Gary J Subdivision : Vistoso Hlnds

Sale Date : 09/27/2018

Total Value : $546,543

Bed / Bath : / 5

Land Use : Sfr

Stories : 1

Recording Date : 10/15/2018

Sale Price  : $560,000

Property Tax : $7,223.20

Lot Acres : 0.56

Living Area : 3,541

Yr Blt / Eff Yr Blt : 2006 / APN : 219-49-0280

12586 N YELLOW BIRD RD Distance 0.06 Miles

Owner Name : Repucci Subdivision : Vistoso Hlnds

Sale Date : 06/24/2021

Total Value : $491,655

Bed / Bath : / 4

Land Use : Sfr

Stories : 1

Recording Date : 06/30/2021

Sale Price  : $710,000

Property Tax : $6,437.69

Lot Acres : 0.46

Living Area : 2,675

Yr Blt / Eff Yr Blt : 2006 / APN : 219-49-0250

Customer Name : Lisa Mrazek

Customer Company Name : First American Title Insurance Company Prepared On : 04/06/2023

© 2023 CoreLogic. All rights reserved

12568 N YELLOW BIRD RD Distance 0.06 Miles

Owner Name : Lurie Lesley Subdivision : Vistoso Hlnds

Sale Date : 10/17/2006

Total Value : $485,025

Recording Date : 10/27/2006

Sale Price  : $676,530

Bed / Bath : / 5 Property Tax : $6,342.77

Land Use : Sfr Lot Acres : 0.48

Stories : 1

Living Area : 2,868

Yr Blt / Eff Yr Blt : 2006 / APN : 219-49-0260

965 W DANCING RAIN CT Distance 0.06 Miles

Owner Name : Spall Sallie Theresa Subdivision : Vistoso Estates

Sale Date : 10/29/2001

Total Value : $465,586

Recording Date : 11/02/2001

Sale Price  : $383,000

Bed / Bath : / 4 Property Tax : $6,064.50

Land Use : Sfr Lot Acres : 0.66

Stories : 1

Living Area : 2,789

Yr Blt / Eff Yr Blt : 2001 / APN : 219-50-2740

Customer Name : Lisa Mrazek Customer Company Name : First American Title Insurance Company Prepared On : 04/06/2023
© 2023 CoreLogic. All rights reserved
Census Tract / block: 46.41 / 1     Year: 2018 Household Population Population by Age Count: 3,911 0 - 11 Estimate Current Year: 3,812 12 - 17 Estimate in 5 Years: 3,439 18 - 24 10.07% Growth Last 5 Years: 2.22% 25 - 64 46.61% Growth Last 10 Years: -157.92% 65 - 74 17.16% 75+ Household Size Household Income Current Year: 1,502 0 - $25,000 6.39% Average Current Year: 2.57 $25,000 - $35,000 5.13% Estimate in 5 Years: 1,684 $35,000 - $50,000 7.26% Growth Last 5 Years: 8.12% $50,000 - $75,000 19.84% Growth Last 10 Years: 0.95% $75,000 - $100,000 10.25% Male Population: 51.11% Above $100,000 51.13% Female Population: 48.89% Average Household Income: $101,118 Married People: 67.59% Unmarried People: 32.41% Housing Median Mortgage Payments Home Values Under $300: 0% Below $100,000: 1.35% $300 - $799: 22.68% $100,000 - $150,000: 2.17% $800 - $1,999: 47.75% $150,000 - $200,000: 6.74% Over $2,000: 29.57% $200,000 - $300,000: 29.27% Median Home Value: $353,600 $300,000 - $500,000: 27.84% Unit Occupied Owner: 88.95% Above $500,000: 32.63% Median Mortgage: $1,139
©
reserved
Customer Name : Lisa Mrazek Customer Company Name : First American Title Insurance Company Prepared On : 04/06/2023
2023 CoreLogic. All rights
Rent Payments Year Built Unit Occupied Renter: 11.05% 1999 - 2000 Median Gross Rent: $1,597 1995 - 1998 Less Than $499 0% 1990 - 1994 $500 - $749 0% 1980 - 1989 11.17% $750 - $999 0% 1970 - 1979 1.73% $1000 and Over 100% 1900 - 1969 0.43% Education Enrollment Public Pre-Primary School: 0.55% Not Enrolled in School: 72.24% Private Pre-Primary School: 1.23% Not A High School Graduate: 1.7% Public School: 21.97% Graduate Of High School: 14.43% Private School: 5.79% Attended Some College: 21.69% Public College: 8.02% College Graduate: 34.38% Private College: 2.78% Graduate Degree: 27.8% Workforce Occupation: Manager/Prof: 55.23% Private Worker: 65.37% Technical: Government Worker: 13.98% Sales: 19.71% Self Employed Worker: 5.35% Administrative: Unpaid Family Worker: 6.23% Private House Hold: Farming: 5.42% Service: 13.29% Skilled: Protective Services: Blue-Collar: 11.78% Commute Time Less Than 15 Min: 20.26% 15 min - 28 min: 31.89% 30 min - 57 min: 45.26% Over 60 min: 2.58% Customer Name : Lisa Mrazek Customer Company Name : First American Title Insurance Company Prepared On : 04/06/2023 © 2023 CoreLogic. All rights reserved

Customer Name : Lisa Mrazek

Customer Company Name : First American Title Insurance Company Prepared On : 04/06/2023

© 2023 CoreLogic. All rights reserved

Customer Name : Lisa Mrazek

Customer Company Name : First American Title Insurance Company Prepared On : 04/06/2023

© 2023 CoreLogic. All rights reserved

Customer Name : Lisa Mrazek

Customer Company Name : First American Title Insurance Company Prepared On : 04/06/2023

© 2023 CoreLogic. All rights reserved

SEARCH PARAMETERS

PARCEL:  219-50-2260

PARCEL: 219-50-2260

OWNER: BLACKMAN STANLEY N

SITUS: 956 W PLACITA LUNA BONITA OV

MAIL: 12594 N YELLOW BIRD RD

ORO VALLEY AZ 85755

PLAT: LOT 00015 BLOCK

LEGAL: MOONRIDGE LOT 0015

END SEARCH

PIMA, AZ 04/06/2023  05:00PM  RL13  INVESTIGATIVE SEARCH RESULTS PAGE 1 OF 1
+ FIRST AMERICAN TITLE, FC0, LMRA
INSTRUMENT REC DATE
AFFIDAVIT    2014 1710093 06/20/2014
CURRENT TAXES INFORMATION THROUGH 01/28/2023 LAND IMPR EXEMPT RATE AREA SPECIAL DISTRICTS PRIMARY  13,401  0  0  8.9703  1012 SECONDARY  16,950  0  0  5.3438  2022 TOTAL TAX BILLED 1,918.22 2022  TAX AMT TAX DUE INTEREST DATE PAID TOTAL DUE FIRST HALF  959.11  0.00  0.00  10/31/2022  0.00  SECOND HALF  959.11  959.11  0.00  959.11  TOTAL CURRENT TAXES DUE 04/23 959.11 05/23 971.90 (ESTIMATED) IMPROVEMENTS BLDG SQFT  0 FULL CASH VALUE  113,000 YEAR BUILT  0 LAND USE  00 13 NUMBER OF STORIES LOT SIZE  1 STDLT STORIES HEIGHT  0 SCHOOL DISTRICT  1012 EXTERIOR WALLS LAND FULL CASH VALUE  113,000 GRADE MATERIALS IMPR FULL CASH VALUE  0 SALES SALE DATE SALE AMOUNT INSTRUMENT TYPE SELLER NAME VALIDITY 06/20/2014 70,000    2014 1710093 WD MILCZAREK-DE FELLIPPIS M E 06/28/2002 98,000    11831 4869 WD ERIESIDE CONSTRUCTION CO 11/08/2001 94,500    11672 1282 SD ERIESIDE CONSTRUCTION CO I ADDITIONAL PROPERTY INFORMATION STANDARD LAND USE: RESIDENTIAL LOT

Covenants, Conditions & Restrictions

Thank you for the opportunity to be of service.

Restrictions indicating a preference, limitation or discrimination based on race, color, religion, sex, handicap, familial status, or national origin are hereby deleted to the extent such restrictions violate 42 USC 3604(c).

This information is furnished without fee and without benefit of a complete title search. No liability is assumed by First American Title or Title Security. If it is desired that liability be assumed, you may apply for a policy of title insurance with First American Title Insurance Company.
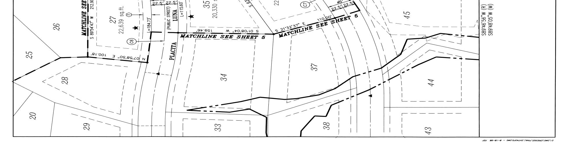
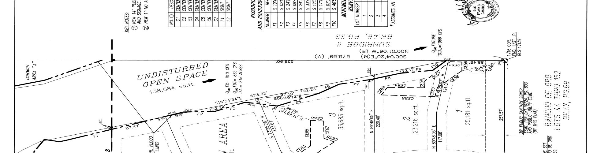
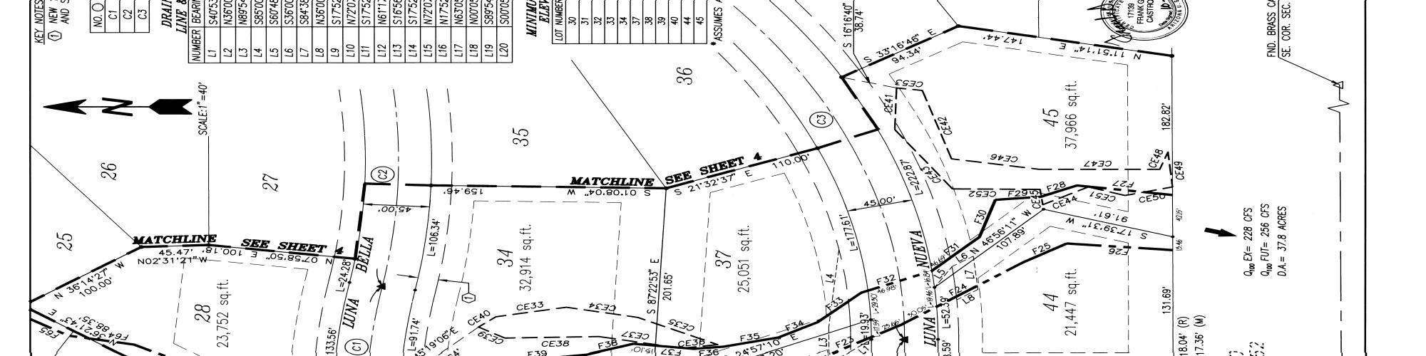
Branch:FC0,User:LMRAComment:StationId:RL13 PIMA,AZPage1of5Printedon4/6/20235:05:55PM Document:SUBDIVISION_MAP51.72
Branch:FC0,User:LMRAComment:StationId:RL13 PIMA,AZPage2of5Printedon4/6/20235:05:58PM Document:SUBDIVISION_MAP51.72
Branch:FC0,User:LMRAComment:StationId:RL13 PIMA,AZPage3of5Printedon4/6/20235:06:00PM Document:SUBDIVISION_MAP51.72
Branch:FC0,User:LMRAComment:StationId:RL13 PIMA,AZPage4of5Printedon4/6/20235:06:03PM Document:SUBDIVISION_MAP51.72
Branch:FC0,User:LMRAComment:StationId:RL13 PIMA,AZPage5of5Printedon4/6/20235:06:08PM Document:SUBDIVISION_MAP51.72
Branch:FC0,User:LMRAComment:StationId:RL13 PIMA,AZPage1of2Printedon4/6/20235:06:08PM Document:RES11252.737
Branch:FC0,User:LMRAComment:StationId:RL13 PIMA,AZPage2of2Printedon4/6/20235:06:09PM Document:RES11252.737
Page 1 of 1 06/27/2012 10:55 AM
Page 1 of 46 06/27/2012 10:55 AM
Page 2 of 46 06/27/2012 10:55 AM
Page 3 of 46 06/27/2012 10:55 AM
Page 4 of 46 06/27/2012 10:55 AM
Page 5 of 46 06/27/2012 10:55 AM
Page 6 of 46 06/27/2012 10:55 AM
Page 7 of 46 06/27/2012 10:55 AM
Page 8 of 46 06/27/2012 10:55 AM
Page 9 of 46 06/27/2012 10:55 AM
Page 10 of 46 06/27/2012 10:55 AM
Page 11 of 46 06/27/2012 10:55 AM
Page 12 of 46 06/27/2012 10:55 AM
Page 13 of 46 06/27/2012 10:55 AM
Page 14 of 46 06/27/2012 10:55 AM
Page 15 of 46 06/27/2012 10:55 AM
Page 16 of 46 06/27/2012 10:55 AM
Page 17 of 46 06/27/2012 10:55 AM
Page 18 of 46 06/27/2012 10:55 AM
Page 19 of 46 06/27/2012 10:55 AM
Page 20 of 46 06/27/2012 10:55 AM
Page 21 of 46 06/27/2012 10:55 AM
Page 22 of 46 06/27/2012 10:55 AM
Page 23 of 46 06/27/2012 10:55 AM
Page 24 of 46 06/27/2012 10:55 AM
Page 25 of 46 06/27/2012 10:55 AM
Page 26 of 46 06/27/2012 10:55 AM
Page 27 of 46 06/27/2012 10:55 AM
Page 28 of 46 06/27/2012 10:55 AM
Page 29 of 46 06/27/2012 10:55 AM
Page 30 of 46 06/27/2012 10:55 AM
Page 31 of 46 06/27/2012 10:55 AM
Page 32 of 46 06/27/2012 10:55 AM
Page 33 of 46 06/27/2012 10:55 AM
Page 34 of 46 06/27/2012 10:55 AM
Page 35 of 46 06/27/2012 10:55 AM
Page 36 of 46 06/27/2012 10:55 AM
Page 37 of 46 06/27/2012 10:55 AM
Page 38 of 46 06/27/2012 10:55 AM
Page 39 of 46 06/27/2012 10:55 AM
Page 40 of 46 06/27/2012 10:55 AM
Page 41 of 46 06/27/2012 10:55 AM
Page 42 of 46 06/27/2012 10:55 AM
Page 43 of 46 06/27/2012 10:55 AM
Page 44 of 46 06/27/2012 10:55 AM
Page 45 of 46 06/27/2012 10:55 AM
Page 46 of 46 06/27/2012 10:55 AM

Turn static files into dynamic content formats.

Create a flipbook
Issuu converts static files into: digital portfolios, online yearbooks, online catalogs, digital photo albums and more. Sign up and create your flipbook.