210 N Eastern Slope Loop, Tucson, AZ 85748

Page 1

210N.EasternSlopeLoop
Tucson,AZ85748

LIMITATION OF LIABILITY FOR INFORMATIONAL REPORTS

IMPORTANT -- PLEASE READ CAREFULLY:

This report is not an insured product or service or a representation of the condition of title to real property. It is not an abst ract, legal opinion, opinion of title, title insurance commitment or preliminary report, or any form of Title Insurance or Guaranty. This report is issued exclusively for the benefit of the Applicant therefor and may not be used or relied upon by any other person. This report may not be reproduced in any manner without First American or Title Security's prior written consent. First American or Title Security does not represent or warrant that the information herein is complete or free from error, and the information herein is provided without any warranties of any kind, as-is, and with all faults. As a material part of the consideration given in exchange for the issuance of this report, recipient agrees that First American or Title Security's sole liability for any loss or damage caused by an error or omission due to inaccurate information or negligence in preparing this report shall be limited to the fee charged for the report. Recipient accepts this report with this limitation and agrees that First American or Title Security would not have issued this report but for the limitation of liability described above. First American or Title Security makes no representation or warranty as to the legality or propriety of recipient's use of the information herein.

PIMA, AZ Document:SUBDIVISION_MAP 42.80 Page:1 of 5 Printed on:5/5/2023 9:23 AM Branch :FC0 User :JSTI
PIMA, AZ Document:SUBDIVISION_MAP 42.80 Page:2 of 5 Printed on:5/5/2023 9:23 AM Branch :FC0 User :JSTI
PIMA, AZ Document:SUBDIVISION_MAP 42.80 Page:3 of 5 Printed on:5/5/2023 9:23 AM Branch :FC0 User :JSTI
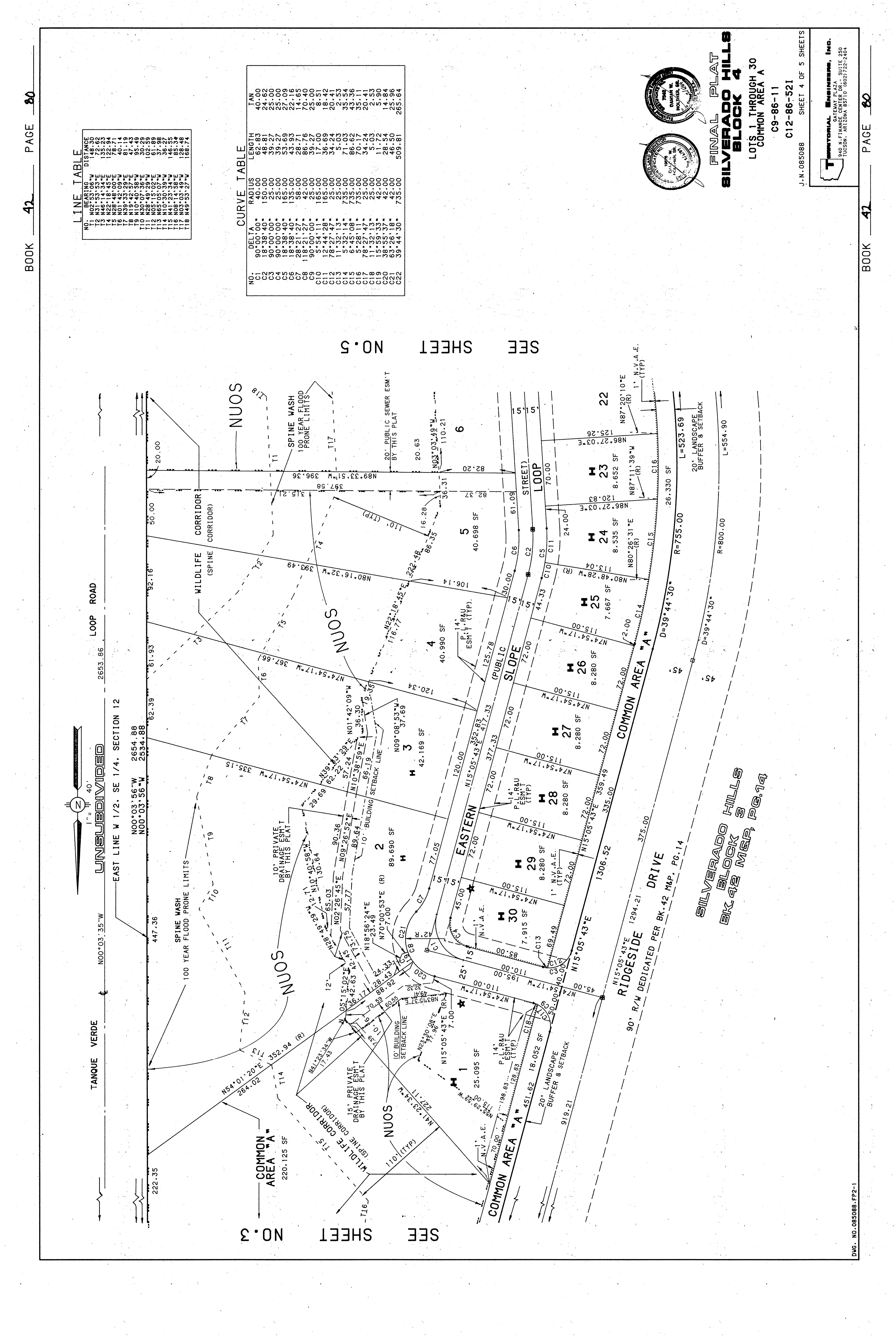
PIMA, AZ Document:SUBDIVISION_MAP 42.80 Page:4 of 5 Printed on:5/5/2023 9:23 AM Branch :FC0 User :JSTI
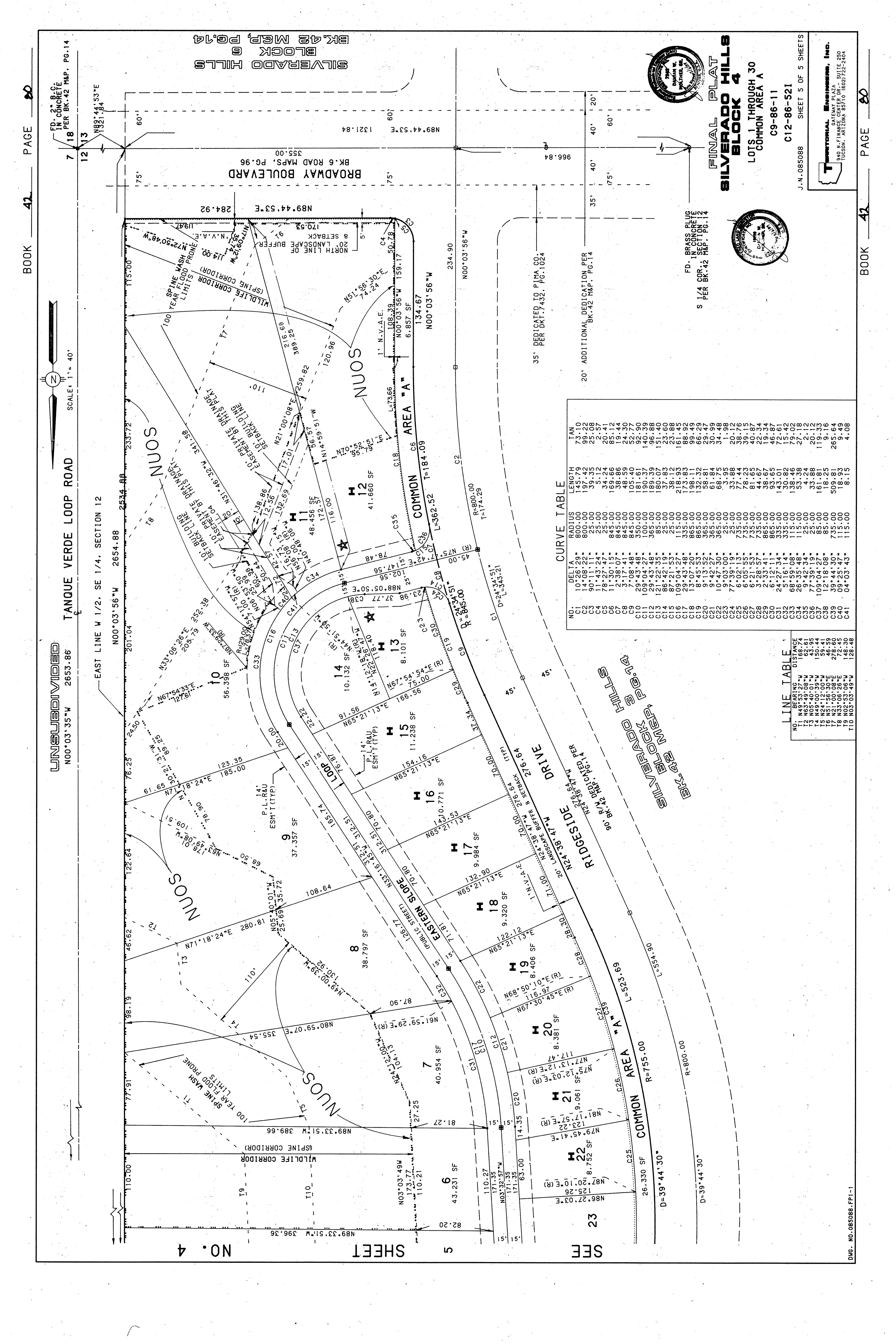
PIMA, AZ Document:SUBDIVISION_MAP 42.80 Page:5 of 5 Printed on:5/5/2023 9:23 AM Branch :FC0 User :JSTI
Page 1 of 78 05/05/2023 9:34 AM
Page 2 of 78 05/05/2023 9:34 AM
Page 3 of 78 05/05/2023 9:34 AM
Page 4 of 78 05/05/2023 9:34 AM
Page 5 of 78 05/05/2023 9:34 AM
Page 6 of 78 05/05/2023 9:34 AM
Page 7 of 78 05/05/2023 9:34 AM
Page 8 of 78 05/05/2023 9:34 AM
Page 9 of 78 05/05/2023 9:34 AM
Page 10 of 78 05/05/2023 9:34 AM
Page 11 of 78 05/05/2023 9:34 AM
Page 12 of 78 05/05/2023 9:34 AM
Page 13 of 78 05/05/2023 9:34 AM
Page 14 of 78 05/05/2023 9:34 AM
Page 15 of 78 05/05/2023 9:34 AM
Page 16 of 78 05/05/2023 9:34 AM
Page 17 of 78 05/05/2023 9:34 AM
Page 18 of 78 05/05/2023 9:34 AM
Page 19 of 78 05/05/2023 9:34 AM
Page 20 of 78 05/05/2023 9:34 AM
Page 21 of 78 05/05/2023 9:34 AM
Page 22 of 78 05/05/2023 9:34 AM
Page 23 of 78 05/05/2023 9:34 AM
Page 24 of 78 05/05/2023 9:34 AM
Page 25 of 78 05/05/2023 9:34 AM
Page 26 of 78 05/05/2023 9:34 AM
Page 27 of 78 05/05/2023 9:34 AM
Page 28 of 78 05/05/2023 9:34 AM
Page 29 of 78 05/05/2023 9:34 AM
Page 30 of 78 05/05/2023 9:34 AM
Page 31 of 78 05/05/2023 9:34 AM
Page 32 of 78 05/05/2023 9:34 AM
Page 33 of 78 05/05/2023 9:34 AM
Page 34 of 78 05/05/2023 9:34 AM
Page 35 of 78 05/05/2023 9:34 AM
Page 36 of 78 05/05/2023 9:34 AM
Page 37 of 78 05/05/2023 9:34 AM
Page 38 of 78 05/05/2023 9:34 AM
Page 39 of 78 05/05/2023 9:34 AM
Page 40 of 78 05/05/2023 9:34 AM
Page 41 of 78 05/05/2023 9:34 AM
Page 42 of 78 05/05/2023 9:34 AM
Page 43 of 78 05/05/2023 9:34 AM
Page 44 of 78 05/05/2023 9:34 AM
Page 45 of 78 05/05/2023 9:34 AM
Page 46 of 78 05/05/2023 9:34 AM
Page 47 of 78 05/05/2023 9:34 AM
Page 48 of 78 05/05/2023 9:34 AM
Page 49 of 78 05/05/2023 9:34 AM
Page 50 of 78 05/05/2023 9:34 AM
Page 51 of 78 05/05/2023 9:34 AM
Page 52 of 78 05/05/2023 9:34 AM
Page 53 of 78 05/05/2023 9:34 AM
Page 54 of 78 05/05/2023 9:34 AM
Page 55 of 78 05/05/2023 9:34 AM
Page 56 of 78 05/05/2023 9:34 AM
Page 57 of 78 05/05/2023 9:34 AM
Page 58 of 78 05/05/2023 9:34 AM
Page 59 of 78 05/05/2023 9:34 AM
Page 60 of 78 05/05/2023 9:34 AM
Page 61 of 78 05/05/2023 9:34 AM
Page 62 of 78 05/05/2023 9:34 AM
Page 63 of 78 05/05/2023 9:34 AM
Page 64 of 78 05/05/2023 9:34 AM
Page 65 of 78 05/05/2023 9:34 AM
Page 66 of 78 05/05/2023 9:34 AM
Page 67 of 78 05/05/2023 9:34 AM
Page 68 of 78 05/05/2023 9:34 AM
Page 69 of 78 05/05/2023 9:34 AM
Page 70 of 78 05/05/2023 9:34 AM
Page 71 of 78 05/05/2023 9:34 AM
Page 72 of 78 05/05/2023 9:34 AM
Page 73 of 78 05/05/2023 9:34 AM
Page 74 of 78 05/05/2023 9:34 AM
Page 75 of 78 05/05/2023 9:34 AM
Page 76 of 78 05/05/2023 9:34 AM
Page 77 of 78 05/05/2023 9:34 AM
Page 78 of 78 05/05/2023 9:34 AM
Page 1 of 96 11/03/2009 4:46 PM
Page 2 of 96 11/03/2009 4:46 PM
Page 3 of 96 11/03/2009 4:46 PM
Page 4 of 96 11/03/2009 4:46 PM
Page 5 of 96 11/03/2009 4:46 PM
Page 6 of 96 11/03/2009 4:46 PM
Page 7 of 96 11/03/2009 4:46 PM
Page 8 of 96 11/03/2009 4:46 PM
Page 9 of 96 11/03/2009 4:46 PM
Page 10 of 96 11/03/2009 4:46 PM
Page 11 of 96 11/03/2009 4:46 PM
Page 12 of 96 11/03/2009 4:46 PM
Page 13 of 96 11/03/2009 4:46 PM
Page 14 of 96 11/03/2009 4:46 PM
Page 15 of 96 11/03/2009 4:46 PM
Page 16 of 96 11/03/2009 4:46 PM
Page 17 of 96 11/03/2009 4:46 PM
Page 18 of 96 11/03/2009 4:46 PM
Page 19 of 96 11/03/2009 4:46 PM
Page 20 of 96 11/03/2009 4:46 PM
Page 21 of 96 11/03/2009 4:46 PM
Page 22 of 96 11/03/2009 4:46 PM
Page 23 of 96 11/03/2009 4:46 PM
Page 24 of 96 11/03/2009 4:46 PM
Page 25 of 96 11/03/2009 4:46 PM
Page 26 of 96 11/03/2009 4:46 PM
Page 27 of 96 11/03/2009 4:46 PM
Page 28 of 96 11/03/2009 4:46 PM
Page 29 of 96 11/03/2009 4:46 PM
Page 30 of 96 11/03/2009 4:46 PM
Page 31 of 96 11/03/2009 4:46 PM
Page 32 of 96 11/03/2009 4:46 PM
Page 33 of 96 11/03/2009 4:46 PM
Page 34 of 96 11/03/2009 4:46 PM
Page 35 of 96 11/03/2009 4:46 PM
Page 36 of 96 11/03/2009 4:46 PM
Page 37 of 96 11/03/2009 4:46 PM
Page 38 of 96 11/03/2009 4:46 PM
Page 39 of 96 11/03/2009 4:46 PM
Page 40 of 96 11/03/2009 4:46 PM
Page 41 of 96 11/03/2009 4:46 PM
Page 42 of 96 11/03/2009 4:46 PM
Page 43 of 96 11/03/2009 4:46 PM
Page 44 of 96 11/03/2009 4:46 PM
Page 45 of 96 11/03/2009 4:46 PM
Page 46 of 96 11/03/2009 4:46 PM
Page 47 of 96 11/03/2009 4:46 PM
Page 48 of 96 11/03/2009 4:46 PM
Page 49 of 96 11/03/2009 4:46 PM
Page 50 of 96 11/03/2009 4:46 PM
Page 51 of 96 11/03/2009 4:46 PM
Page 52 of 96 11/03/2009 4:46 PM
Page 53 of 96 11/03/2009 4:46 PM
Page 54 of 96 11/03/2009 4:46 PM
Page 55 of 96 11/03/2009 4:46 PM
Page 56 of 96 11/03/2009 4:46 PM
Page 57 of 96 11/03/2009 4:46 PM
Page 58 of 96 11/03/2009 4:46 PM
Page 59 of 96 11/03/2009 4:46 PM
Page 60 of 96 11/03/2009 4:46 PM
Page 61 of 96 11/03/2009 4:46 PM
Page 62 of 96 11/03/2009 4:46 PM
Page 63 of 96 11/03/2009 4:46 PM
Page 64 of 96 11/03/2009 4:46 PM
Page 65 of 96 11/03/2009 4:46 PM
Page 66 of 96 11/03/2009 4:46 PM
Page 67 of 96 11/03/2009 4:46 PM
Page 68 of 96 11/03/2009 4:46 PM
Page 69 of 96 11/03/2009 4:46 PM
Page 70 of 96 11/03/2009 4:46 PM
Page 71 of 96 11/03/2009 4:46 PM
Page 72 of 96 11/03/2009 4:46 PM
Page 73 of 96 11/03/2009 4:46 PM
Page 74 of 96 11/03/2009 4:46 PM
Page 75 of 96 11/03/2009 4:46 PM
Page 76 of 96 11/03/2009 4:46 PM
Page 77 of 96 11/03/2009 4:46 PM
Page 78 of 96 11/03/2009 4:46 PM
Page 79 of 96 11/03/2009 4:46 PM
Page 80 of 96 11/03/2009 4:46 PM
Page 81 of 96 11/03/2009 4:46 PM
Page 82 of 96 11/03/2009 4:46 PM
Page 83 of 96 11/03/2009 4:46 PM
Page 84 of 96 11/03/2009 4:46 PM
Page 85 of 96 11/03/2009 4:46 PM
Page 86 of 96 11/03/2009 4:46 PM
Page 87 of 96 11/03/2009 4:46 PM
Page 88 of 96 11/03/2009 4:46 PM
Page 89 of 96 11/03/2009 4:46 PM
Page 90 of 96 11/03/2009 4:46 PM
Page 91 of 96 11/03/2009 4:46 PM
Page 92 of 96 11/03/2009 4:46 PM
Page 93 of 96 11/03/2009 4:46 PM
Page 94 of 96 11/03/2009 4:46 PM
Page 95 of 96 11/03/2009 4:46 PM
Page 96 of 96 11/03/2009 4:46 PM
Page 1 of 7 11/03/2009 4:46 PM
Page 2 of 7 11/03/2009 4:46 PM
Page 3 of 7 11/03/2009 4:46 PM
Page 4 of 7 11/03/2009 4:46 PM
Page 5 of 7 11/03/2009 4:46 PM
Page 6 of 7 11/03/2009 4:46 PM
Page 7 of 7 11/03/2009 4:46 PM
Page 1 of 20 11/03/2009 4:46 PM
Page 2 of 20 11/03/2009 4:46 PM
Page 3 of 20 11/03/2009 4:46 PM
Page 4 of 20 11/03/2009 4:46 PM
Page 5 of 20 11/03/2009 4:46 PM
Page 6 of 20 11/03/2009 4:46 PM
Page 7 of 20 11/03/2009 4:46 PM
Page 8 of 20 11/03/2009 4:46 PM
Page 9 of 20 11/03/2009 4:46 PM
Page 10 of 20 11/03/2009 4:46 PM
Page 11 of 20 11/03/2009 4:46 PM
Page 12 of 20 11/03/2009 4:46 PM
Page 13 of 20 11/03/2009 4:46 PM
Page 14 of 20 11/03/2009 4:46 PM
Page 15 of 20 11/03/2009 4:46 PM
Page 16 of 20 11/03/2009 4:46 PM
Page 17 of 20 11/03/2009 4:46 PM
Page 18 of 20 11/03/2009 4:46 PM
Page 19 of 20 11/03/2009 4:46 PM
Page 20 of 20 11/03/2009 4:46 PM
Page 1 of 14 11/03/2009 4:46 PM
Page 2 of 14 11/03/2009 4:46 PM
Page 3 of 14 11/03/2009 4:46 PM
Page 4 of 14 11/03/2009 4:46 PM
Page 5 of 14 11/03/2009 4:46 PM
Page 6 of 14 11/03/2009 4:46 PM
Page 7 of 14 11/03/2009 4:46 PM
Page 8 of 14 11/03/2009 4:46 PM
Page 9 of 14 11/03/2009 4:46 PM
Page 10 of 14 11/03/2009 4:46 PM
Page 11 of 14 11/03/2009 4:46 PM
Page 12 of 14 11/03/2009 4:46 PM
Page 13 of 14 11/03/2009 4:46 PM
Page 14 of 14 11/03/2009 4:46 PM
Page 1 of 6 11/03/2009 4:46 PM
Page 2 of 6 11/03/2009 4:46 PM
Page 3 of 6 11/03/2009 4:46 PM
Page 4 of 6 11/03/2009 4:46 PM
Page 5 of 6 11/03/2009 4:46 PM
Page 6 of 6 11/03/2009 4:46 PM
Page 1 of 14 11/03/2009 4:46 PM
Page 2 of 14 11/03/2009 4:46 PM
Page 3 of 14 11/03/2009 4:46 PM
Page 4 of 14 11/03/2009 4:46 PM
Page 5 of 14 11/03/2009 4:46 PM
Page 6 of 14 11/03/2009 4:46 PM
Page 7 of 14 11/03/2009 4:46 PM
Page 8 of 14 11/03/2009 4:46 PM
Page 9 of 14 11/03/2009 4:46 PM
Page 10 of 14 11/03/2009 4:46 PM
Page 11 of 14 11/03/2009 4:46 PM
Page 12 of 14 11/03/2009 4:46 PM
Page 13 of 14 11/03/2009 4:46 PM
Page 14 of 14 11/03/2009 4:46 PM
Page 1 of 77 11/03/2009 4:46 PM
Page 2 of 77 11/03/2009 4:46 PM
Page 3 of 77 11/03/2009 4:46 PM
Page 4 of 77 11/03/2009 4:46 PM
Page 5 of 77 11/03/2009 4:46 PM
Page 6 of 77 11/03/2009 4:46 PM
Page 7 of 77 11/03/2009 4:46 PM
Page 8 of 77 11/03/2009 4:46 PM
Page 9 of 77 11/03/2009 4:46 PM
Page 10 of 77 11/03/2009 4:46 PM
Page 11 of 77 11/03/2009 4:46 PM
Page 12 of 77 11/03/2009 4:46 PM
Page 13 of 77 11/03/2009 4:46 PM
Page 14 of 77 11/03/2009 4:46 PM
Page 15 of 77 11/03/2009 4:46 PM
Page 16 of 77 11/03/2009 4:46 PM
Page 17 of 77 11/03/2009 4:46 PM
Page 18 of 77 11/03/2009 4:46 PM
Page 19 of 77 11/03/2009 4:46 PM
Page 20 of 77 11/03/2009 4:46 PM
Page 21 of 77 11/03/2009 4:46 PM
Page 22 of 77 11/03/2009 4:46 PM
Page 23 of 77 11/03/2009 4:46 PM
Page 24 of 77 11/03/2009 4:46 PM
Page 25 of 77 11/03/2009 4:46 PM
Page 26 of 77 11/03/2009 4:46 PM
Page 27 of 77 11/03/2009 4:46 PM
Page 28 of 77 11/03/2009 4:46 PM
Page 29 of 77 11/03/2009 4:46 PM
Page 30 of 77 11/03/2009 4:46 PM
Page 31 of 77 11/03/2009 4:46 PM
Page 32 of 77 11/03/2009 4:46 PM
Page 33 of 77 11/03/2009 4:46 PM
Page 34 of 77 11/03/2009 4:46 PM
Page 35 of 77 11/03/2009 4:46 PM
Page 36 of 77 11/03/2009 4:46 PM
Page 37 of 77 11/03/2009 4:46 PM
Page 38 of 77 11/03/2009 4:46 PM
Page 39 of 77 11/03/2009 4:46 PM
Page 40 of 77 11/03/2009 4:46 PM
Page 41 of 77 11/03/2009 4:46 PM
Page 42 of 77 11/03/2009 4:46 PM
Page 43 of 77 11/03/2009 4:46 PM
Page 44 of 77 11/03/2009 4:46 PM
Page 45 of 77 11/03/2009 4:46 PM
Page 46 of 77 11/03/2009 4:46 PM
Page 47 of 77 11/03/2009 4:46 PM
Page 48 of 77 11/03/2009 4:46 PM
Page 49 of 77 11/03/2009 4:46 PM
Page 50 of 77 11/03/2009 4:46 PM
Page 51 of 77 11/03/2009 4:46 PM
Page 52 of 77 11/03/2009 4:46 PM
Page 53 of 77 11/03/2009 4:46 PM
Page 54 of 77 11/03/2009 4:46 PM
Page 55 of 77 11/03/2009 4:46 PM
Page 56 of 77 11/03/2009 4:46 PM
Page 57 of 77 11/03/2009 4:46 PM
Page 58 of 77 11/03/2009 4:46 PM
Page 59 of 77 11/03/2009 4:46 PM
Page 60 of 77 11/03/2009 4:46 PM
Page 61 of 77 11/03/2009 4:46 PM
Page 62 of 77 11/03/2009 4:46 PM
Page 63 of 77 11/03/2009 4:46 PM
Page 64 of 77 11/03/2009 4:46 PM
Page 65 of 77 11/03/2009 4:46 PM
Page 66 of 77 11/03/2009 4:46 PM
Page 67 of 77 11/03/2009 4:46 PM
Page 68 of 77 11/03/2009 4:46 PM
Page 69 of 77 11/03/2009 4:46 PM
Page 70 of 77 11/03/2009 4:46 PM
Page 71 of 77 11/03/2009 4:46 PM
Page 72 of 77 11/03/2009 4:46 PM
Page 73 of 77 11/03/2009 4:46 PM
Page 74 of 77 11/03/2009 4:46 PM
Page 75 of 77 11/03/2009 4:46 PM
Page 76 of 77 11/03/2009 4:46 PM
Page 77 of 77 11/03/2009 4:46 PM
Page 1 of 64 11/03/2009 4:47 PM
Page 2 of 64 11/03/2009 4:47 PM
Page 3 of 64 11/03/2009 4:47 PM
Page 4 of 64 11/03/2009 4:47 PM
Page 5 of 64 11/03/2009 4:47 PM
Page 6 of 64 11/03/2009 4:47 PM
Page 7 of 64 11/03/2009 4:47 PM
Page 8 of 64 11/03/2009 4:47 PM
Page 9 of 64 11/03/2009 4:47 PM
Page 10 of 64 11/03/2009 4:47 PM
Page 11 of 64 11/03/2009 4:47 PM
Page 12 of 64 11/03/2009 4:47 PM
Page 13 of 64 11/03/2009 4:47 PM
Page 14 of 64 11/03/2009 4:47 PM
Page 15 of 64 11/03/2009 4:47 PM
Page 16 of 64 11/03/2009 4:47 PM
Page 17 of 64 11/03/2009 4:47 PM
Page 18 of 64 11/03/2009 4:47 PM
Page 19 of 64 11/03/2009 4:47 PM
Page 20 of 64 11/03/2009 4:47 PM
Page 21 of 64 11/03/2009 4:47 PM
Page 22 of 64 11/03/2009 4:47 PM
Page 23 of 64 11/03/2009 4:47 PM
Page 24 of 64 11/03/2009 4:47 PM
Page 25 of 64 11/03/2009 4:47 PM
Page 26 of 64 11/03/2009 4:47 PM
Page 27 of 64 11/03/2009 4:47 PM
Page 28 of 64 11/03/2009 4:47 PM
Page 29 of 64 11/03/2009 4:47 PM
Page 30 of 64 11/03/2009 4:47 PM
Page 31 of 64 11/03/2009 4:47 PM
Page 32 of 64 11/03/2009 4:47 PM
Page 33 of 64 11/03/2009 4:47 PM
Page 34 of 64 11/03/2009 4:47 PM
Page 35 of 64 11/03/2009 4:47 PM
Page 36 of 64 11/03/2009 4:47 PM
Page 37 of 64 11/03/2009 4:47 PM
Page 38 of 64 11/03/2009 4:47 PM
Page 39 of 64 11/03/2009 4:47 PM
Page 40 of 64 11/03/2009 4:47 PM
Page 41 of 64 11/03/2009 4:47 PM
Page 42 of 64 11/03/2009 4:47 PM
Page 43 of 64 11/03/2009 4:47 PM
Page 44 of 64 11/03/2009 4:47 PM
Page 45 of 64 11/03/2009 4:47 PM
Page 46 of 64 11/03/2009 4:47 PM
Page 47 of 64 11/03/2009 4:47 PM
Page 48 of 64 11/03/2009 4:47 PM
Page 49 of 64 11/03/2009 4:47 PM
Page 50 of 64 11/03/2009 4:47 PM
Page 51 of 64 11/03/2009 4:47 PM
Page 52 of 64 11/03/2009 4:47 PM
Page 53 of 64 11/03/2009 4:47 PM
Page 54 of 64 11/03/2009 4:47 PM
Page 55 of 64 11/03/2009 4:47 PM
Page 56 of 64 11/03/2009 4:47 PM
Page 57 of 64 11/03/2009 4:47 PM
Page 58 of 64 11/03/2009 4:47 PM
Page 59 of 64 11/03/2009 4:47 PM
Page 60 of 64 11/03/2009 4:47 PM
Page 61 of 64 11/03/2009 4:47 PM
Page 62 of 64 11/03/2009 4:47 PM
Page 63 of 64 11/03/2009 4:47 PM
Page 64 of 64 11/03/2009 4:47 PM
Page 1 of 4 11/03/2009 4:47 PM
Page 2 of 4 11/03/2009 4:47 PM
Page 3 of 4 11/03/2009 4:47 PM
Page 4 of 4 11/03/2009 4:47 PM

Turn static files into dynamic content formats.

Create a flipbook
Issuu converts static files into: digital portfolios, online yearbooks, online catalogs, digital photo albums and more. Sign up and create your flipbook.