120 08 019

Page 1

Data Provided By: First American Title Ins Co

Property AZ APN: 120-08-0190
Subject
© 2023 CoreLogic. All rights reserved

LIMITATION OF LIABILITY FOR INFORMATIONAL REPORTS

IMPORTANT -- PLEASE READ CAREFULLY:

This report is not an insured product or service or a representation of the condition of title to real property. It is not an abst ract, legal opinion, opinion of title, title insurance commitment or preliminary report, or any form of Title Insurance or Guaranty. This report is issued exclusively for the benefit of the Applicant therefor and may not be used or relied upon by any other person. This report may not be reproduced in any manner without First American or Title Security's prior written consent. First American or Title Security does not represent or warrant that the information herein is complete or free from error, and the information herein is provided without any warranties of any kind, as-is, and with all faults. As a material part of the consideration given in exchange for the issuance of this report, recipient agrees that First American or Title Security's sole liability for any loss or damage caused by an error or omission due to inaccurate information or negligence in preparing this report shall be limited to the fee charged for the report. Recipient accepts this report with this limitation and agrees that First American or Title Security would not have issued this report but for the limitation of liability described above. First American or Title Security makes no representation or warranty as to the legality or propriety of recipient's use of the information herein.

Disclaimer

This REiSource report is provided "as is" without warranty of any kind, either express or implied, including without limitations any warrantees of merchantability or fitness for a particular purpose. There is no representation of warranty that this information is complete or free from error, and the provider does not assume, and expressly disclaims, any liability to any person or entity for loss or damage caused by errors or omissions in this REiSource report without a title insurance policy.

The information contained in the REiSource report is delivered from your Title Company, who reminds you that you have the right as a consumer to compare fees and serviced levels for Title, Escrow, and all other services associated with property ownership, and to select providers accordingly. Your home is the largest investment you will make in your lifetime and you should demand the very best.

Data Provided By: First American Title Ins Co
© 2023 CoreLogic. All rights reserved

Subject Property :    AZ

Owner Information

Owner Name : Zelleross Investments Llc

Mailing Address : 62005 Fall Creek Loop, Bend OR 97702-1156 R017

Location Information

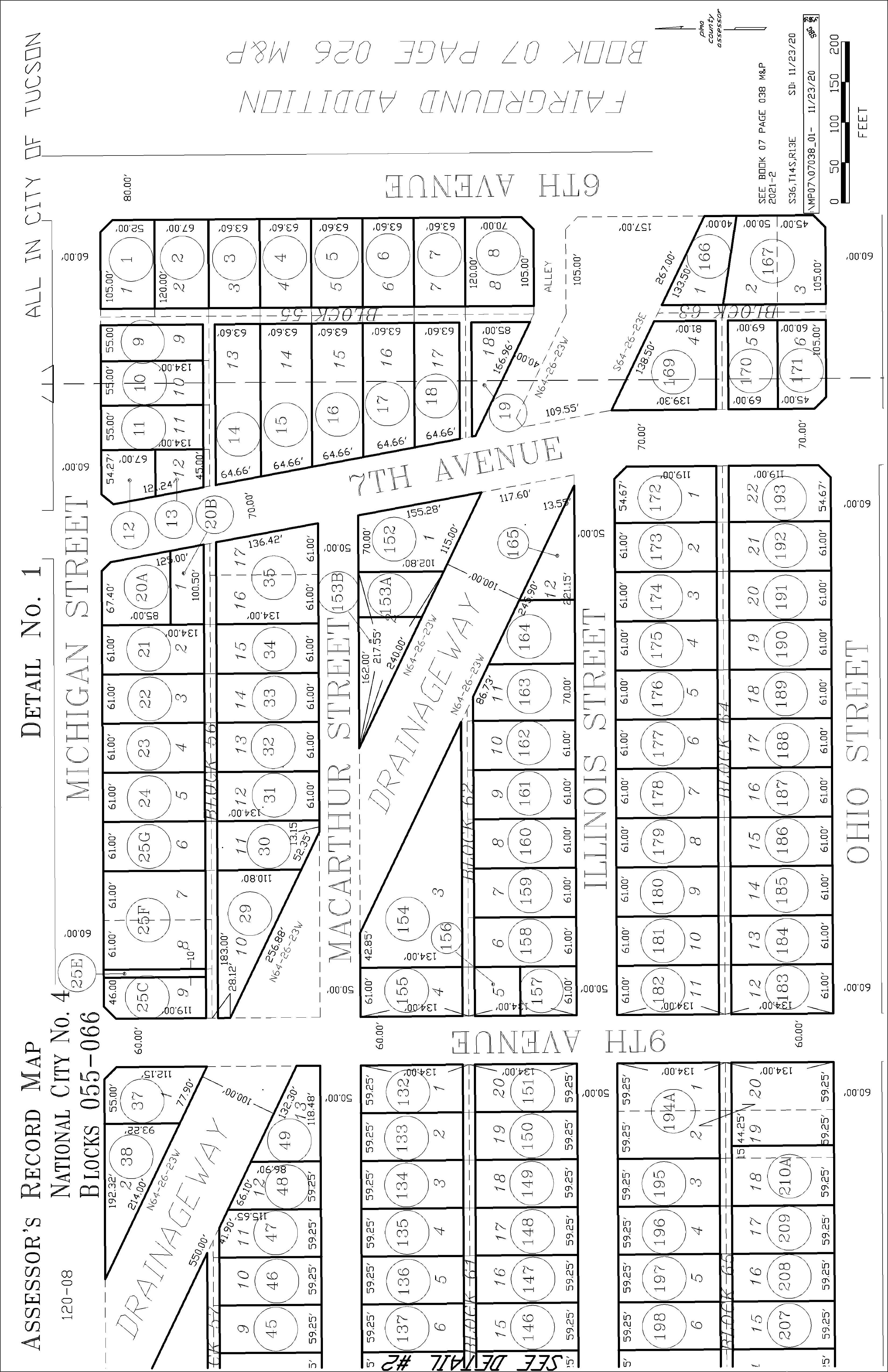
Legal Description : National City No 4 Lot 18 Exc N7.5' & E10' For Alleys Blk 55

County : Pima, Az

Census Tract / Block : 24.00 / 1

Township-Range- Sect : 14S-13E-36

Legal Book/Page : 7-38

Legal Lot : 18

Legal Block : 55

Last Market Sale Information

Recording/Sale Date : 06/10/2021 / 06/07/2021

Sale Price : $435,000

Title Company : Signature Title Agcy/az Llc

Seller Name : R & A Developments Llc

Prior Sale Information Prior Rec/Sale Date : 12/31/1956

Prior Doc Number : 1072-539

Market Area : 100

APN : 120-08-0190

Subdivision : National City 04

Map Reference : 36-14S-13E

School District : Tucson Unified

Munic/Township : Tucson Unified

Document # : 1610707

Deed Type : Warranty Deed

Prior Deed Type : Deed (reg)

Property Information Land Use : Commercial Lot Zoning : C-2 Lot Size : 4,935 County Use : Vac Commurban Subd

Acres : 0.11 State Use : Vac Commurban Subd

Tax Information

Total Value : $25,070 Property Tax : $264.48

Total Taxable Value : $1,899

Assessed Year : 2022

Tax Year : 2022

Rate Area : 0150

Value : $25,070

Current Assessed Year : 2024

Current Year Total Value : $3,761

Current Year Land Value : $3,761

Customer Name : Lisa Mrazek

Customer Company Name : First American Title Insurance Company Prepared On : 06/28/2023

© 2023 CoreLogic. All rights reserved

Lot
Tax
Market
Sales Analysis Criteria Subject Property Low High Average Sale Price $435,000 $225,000 $5,300,000 $965,625 Bldg/Living Area Price Per Square Foot $17 $32 $24.73 Year Built Lot Size 4,935 6,996 24,735 10,663 Bedrooms Bathrooms Stories Total Assessed Value $25,070 $17,738 $135,252 $59,413 Distance From Subject 0 0.03 0.95 0.37
Customer
First American Title Insurance Company Prepared On : 06/28/2023 © 2023 CoreLogic. All rights reserved
Customer Name : Lisa Mrazek
Company Name :

Customer Name : Lisa Mrazek

Customer Company Name : First American Title Insurance Company Prepared On : 06/28/2023

© 2023 CoreLogic. All rights reserved

Map

Details of Comparables

Subject Property:  Az Owner Name: Zelleross Investments Llc / APN / Alternate APN: 120-08-0190 / Deed Type: Warranty Deed Land Use: Commercial Lot Subdivision / Tract: National City 04 / Lot Size: 4,935 Year Built / Eff: / Rec. Date / Price: 06/10/2021 / $435,000 Living Area: # of units: Document #: 1610707 Bedrooms: Pool: Total Tax Value: $25,070 Bath(F/H): / #1   4548 S 6th Ave Tucson Az 85714 Owner Name: Tucson Quality Meats Llc / APN / Alternate APN: 120-08-0070 / Deed Type: Warranty Deed Land Use: Commercial Lot Subdivision / Tract: National City 04 / Lot Size: 6,996 Year Built / Eff: / Rec. Date / Price: 06/08/2023 / $225,000 Living Area: # of units: Document #: 1590596 Bedrooms: Pool: Total Tax Value: $54,569 Bath(F/H): / #2   4540 S 6th Ave Tucson Az 85714 Owner Name: Val Val Construction Llc / APN / Alternate APN: 120-08-0060 / Deed Type: Warranty Deed Land Use: Commercial Lot Subdivision / Tract: National City 04 / Lot Size: 6,996 Year Built / Eff: / Rec. Date / Price: 04/27/2023 / $400,000 Living Area: # of units: Document #: 1170504 Bedrooms: Pool: Total Tax Value: $54,569 Bath(F/H): / #3   4532 S 6th Ave Tucson Az 85714 Owner Name: Val Val Construction Llc / APN / Alternate APN: 120-08-0050 / Deed Type: Warranty Deed Land Use: Commercial Lot Subdivision / Tract: National City 04 / Lot Size: 6,996 Year Built / Eff: / Rec. Date / Price: 04/27/2023 / $400,000 Living Area: # of units: Document #: 1170504 Bedrooms: Pool: Total Tax Value: $54,569 Bath(F/H): / #4   4526 S 6th Ave Tucson Az 85714 Owner Name: Val Val Del B Llc / APN / Alternate APN: 120-08-0040 / Deed Type: Warranty Deed Land Use: Commercial Lot Subdivision / Tract: National City 04 / Lot Size: 6,996 Year Built / Eff: / Rec. Date / Price: 04/27/2023 / $400,000 Living Area: # of units: Document #: 1170504 Bedrooms: Pool: Total Tax Value: $54,569 Bath(F/H): / Customer Name : Lisa Mrazek Customer Company Name : First American Title Insurance Company Prepared On : 06/28/2023 © 2023 CoreLogic. All rights reserved
#5   4518 S 6th Ave Tucson Az 85714 Owner Name: Val Val Construction Llc / APN / Alternate APN: 120-08-0030 / Deed Type: Warranty Deed Land Use: Commercial Lot Subdivision / Tract: National City 04 / Lot Size: 6,996 Year Built / Eff: / Rec. Date / Price: 04/27/2023 / $400,000 Living Area: # of units: Document #: 1170504 Bedrooms: Pool: Total Tax Value: $54,569 Bath(F/H): / #6   5262 S Nogales Hwy Tucson Az 85706 Owner Name: Nguyen Ma /Nguyen Family APN / Alternate APN: 137-03-1140 / Deed Type: Special Warranty Deed Land Use: Commercial Lot Subdivision / Tract: Rodeo Add Resub / Lot Size: 8,250 Year Built / Eff: / Rec. Date / Price: 08/26/2022 / $300,000 Living Area: # of units: Document #: 2380834 Bedrooms: Pool: Total Tax Value: $17,738 Bath(F/H): / #7   Az Owner Name: Msc Investments Llc / APN / Alternate APN: 120-05-275B / Deed Type: Special Warranty Deed Land Use: Commercial Lot Subdivision / Tract: Placita Del Rio / Lot Size: 24,735 Year Built / Eff: / Rec. Date / Price: 09/30/2022 / $5,300,000 Living Area: # of units: Document #: 2730657 Bedrooms: Pool: Total Tax Value: $49,470 Bath(F/H): / #8   3520 S 6th Ave Tucson Az 85713 Owner Name: Lucatero Ent Llc / APN / Alternate APN: 119-17-013G / Deed Type: Warranty Deed Land Use: Commercial Lot Subdivision / Tract: Veterans Add / Lot Size: 17,340 Year Built / Eff: / Rec. Date / Price: 01/09/2023 / $300,000 Living Area: # of units: Document #: 90598 Bedrooms: Pool: Total Tax Value: $135,252 Bath(F/H): / Customer Name : Lisa Mrazek Customer Company Name : First American Title Insurance Company Prepared On : 06/28/2023 © 2023 CoreLogic. All rights reserved

Customer Name : Lisa Mrazek

Customer Company Name : First American Title Insurance Company

Prepared On : 06/28/2023

© 2023 CoreLogic. All rights reserved

No street map for selected property.

Customer Name : Lisa Mrazek

Customer Company Name : First American Title Insurance Company Prepared On : 06/28/2023

© 2023 CoreLogic. All rights reserved

108 W MICHIGAN DR Distance 0.13 Miles

Owner Name : Andrade Federico Subdivision : National City 03

Sale Date : 08/00/2004

Total Value : $106,078

Bed / Bath : / 1

Recording Date : 08/30/2004

Sale Price  : $87,000

Property Tax : $681.35

Land Use : Sfr Lot Acres : 0.18

Stories : 1

Living Area : 839

Yr Blt / Eff Yr Blt : 1952 / APN : 120-07-6270

114 W MICHIGAN DR Distance 0.14 Miles

Owner Name : Arevalo Jorge Louis Subdivision : National City 03

Total Value : $129,377

Recording Date : 10/01/1956

Bed / Bath : / 1 Property Tax : $874.80

Land Use : Sfr Lot Acres : 0.17

Stories : 1

Yr Blt / Eff Yr Blt : 1953 /

Living Area : 1,414

APN : 120-07-6260

120 W MICHIGAN DR Distance 0.15 Miles

Owner Name : Gateway Capital Partners Llc Subdivision : National City 03

Sale Date : 01/00/2020

Recording Date : 01/03/2020

Total Value : $124,439 Sale Price  : $110,078

Bed / Bath : / 2

Land Use : Sfr

Stories : 1

Yr Blt / Eff Yr Blt : 1979 /

Owner Name : Comar 7 Llc

Sale Date : 02/22/2022

Total Value : $106,477

Property Tax : $846.55

Lot Acres : 0.18

Living Area : 1,179

APN : 120-07-6250

Distance 0.15 Miles

Recording Date : 02/23/2022

Sale Price  : $254,500

Property Tax : $387.75

Land Use : Duplex Lot Acres : 0.09

Stories : 1

Yr Blt / Eff Yr Blt : 1950 / 1950

Subdivision  : National City 03

Living Area : 1,710

APN : 120-07-6110

© 2023 CoreLogic. All rights reserved

4448 S 7TH AVE Customer Name : Lisa Mrazek Customer Company Name : First American Title Insurance Company Prepared On : 06/28/2023

126 W MICHIGAN DR Distance 0.15 Miles

Owner Name : Pena Arturo L Subdivision : National City 03

Sale Date : 06/26/2000

Total Value : $116,993

Bed / Bath : / 1

Recording Date : 06/28/2000

Sale Price  : $50,000

Property Tax : $780.89

Land Use : Sfr Lot Acres : 0.18

Stories : 1

Living Area : 1,073

Yr Blt / Eff Yr Blt : 1956 / APN : 120-07-6240

101 W PENNSYLVANIA DR Distance 0.16 Miles

Owner Name : Gomez Otton Subdivision : National City 03

Sale Date : 02/18/2010

Recording Date : 05/19/2010

Total Value : $119,366 Sale Price  : $80,000

Bed / Bath : / 1 Property Tax : $798.20

Land Use : Sfr Lot Acres : 0.13

Stories : 1

Living Area : 1,212

Yr Blt / Eff Yr Blt : 1945 / APN : 120-07-6100

107 W PENNSYLVANIA DR Distance 0.16 Miles

Owner Name : Macias Recording Date : 01/07/2014

Sale Date : 12/12/2013 Sale Price  : $111,000

Total Value : $155,937

Property Tax : $1,727.60

Land Use : Duplex Lot Acres : 0.17

Stories : 1

Yr Blt / Eff Yr Blt : 2004 / 2004

Subdivision  : National City 03

Living Area : 2,348

APN : 120-07-6120

130 W MICHIGAN DR Distance 0.16 Miles

Owner Name : Miller Veronica A

Sale Date : 07/00/1978

Total Value : $116,738

Bed / Bath : / 2

Land Use : Sfr

Stories : 1

Yr Blt / Eff Yr Blt  : 1960 /

Subdivision : National City 03

Sale Price  : $30,500

Property Tax : $789.54

Lot Acres : 0.17

Living Area : 1,098

APN : 120-07-6230

06/28/2023

© 2023 CoreLogic. All rights reserved

Customer Name : Lisa Mrazek Customer Company Name : First American Title Insurance Company Prepared On :

113 W PENNSYLVANIA DR Distance 0.16 Miles

Owner Name : Lopez Amalla Subdivision : National City 03

Sale Date : 08/31/2020

Total Value : $40,661

Bed / Bath : / 1

Recording Date : 09/01/2020

Sale Price  : $145,000

Property Tax : $353.86

Land Use : Sfr Lot Acres : 0.17

Stories : 1

Living Area : 866

Yr Blt / Eff Yr Blt : 1943 / APN : 120-07-6130

119 W PENNSYLVANIA DR Distance 0.17 Miles

Owner Name : Valdovin Roy R Subdivision : National City 03

Total Value : $94,059

Recording Date : 03/17/1969

Bed / Bath : / 1 Property Tax : $646.06

Land Use : Sfr Lot Acres : 0.18

Stories : 1

Living Area : 874

Yr Blt / Eff Yr Blt : 1954 / APN : 120-07-6140

On
06/28/2023 © 2023 CoreLogic. All rights reserved
Customer Name : Lisa Mrazek Customer Company Name : First American Title Insurance Company Prepared
:
Tract / block: 24.00 / 1     Year: 2020 Household Population Population by Age Count: 5,359 0 - 11 Estimate Current Year: 5,161 12 - 17 Estimate in 5 Years: 4,438 18 - 24 15.64% Growth Last 5 Years: -10.26% 25 - 64 43.05% Growth Last 10 Years: -273.47% 65 - 74 10.56% 75+ Household Size Household Income Current Year: 1,779 0 - $25,000 37.32% Average Current Year: 2.93 $25,000 - $35,000 9.84% Estimate in 5 Years: 1,318 $35,000 - $50,000 18.32% Growth Last 5 Years: -10.46% $50,000 - $75,000 15.51% Growth Last 10 Years: -23.98% $75,000 - $100,000 7.03% Male Population: 49.39% Above $100,000 11.97% Female Population: 50.61% Average Household Income: $39,222 Married People: 28.72% Unmarried People: 71.28% Housing Median Mortgage Payments Home Values Under $300: 33.9% Below $100,000: 56.22% $300 - $799: 30.73% $100,000 - $150,000: 33.9% $800 - $1,999: 35.37% $150,000 - $200,000: 9.02% Over $2,000: 0% $200,000 - $300,000: 0.85% Median Home Value: $91,800 $300,000 - $500,000: 0% Unit Occupied Owner: 46.09% Above $500,000: 0% Median Mortgage: $657
Customer
On
06/28/2023 © 2023 CoreLogic. All rights reserved
Census
Customer Name : Lisa Mrazek
Company Name : First American Title Insurance Company Prepared
:
Rent Payments Year Built Unit Occupied Renter: 53.91% 1999 - 2000 Median Gross Rent: $777 1995 - 1998 Less Than $499 10.82% 1990 - 1994 $500 - $749 35.1% 1980 - 1989 7.7% $750 - $999 21.86% 1970 - 1979 5.04% $1000 and Over 32.22% 1900 - 1969 74.63% Education Enrollment Public Pre-Primary School: 0.44% Not Enrolled in School: 66.74% Private Pre-Primary School: 0% Not A High School Graduate: 32.14% Public School: 31.42% Graduate Of High School: 33.71% Private School: 1.85% Attended Some College: 25.43% Public College: 5.77% College Graduate: 8.5% Private College: 0.71% Graduate Degree: 0.22% Workforce Occupation: Manager/Prof: 15.84% Private Worker: 78.34% Technical: Government Worker: 9.53% Sales: 23.6% Self Employed Worker: 0.72% Administrative: Unpaid Family Worker: 5.26% Private House Hold: Farming: 16.12% Service: 25.48% Skilled: Protective Services: Blue-Collar: 35.07% Commute Time Less Than 15 Min: 33.1% 15 min - 28 min: 42.85% 30 min - 57 min: 19.36% Over 60 min: 4.68% Customer Name : Lisa Mrazek Customer Company Name : First American Title Insurance Company Prepared On : 06/28/2023 © 2023 CoreLogic. All rights reserved

Customer Name : Lisa Mrazek

Customer Company Name : First American Title Insurance Company Prepared On : 06/28/2023

© 2023 CoreLogic. All rights reserved

Customer Name : Lisa Mrazek

Customer Company Name : First American Title Insurance Company Prepared On : 06/28/2023

© 2023 CoreLogic. All rights reserved

Customer Name : Lisa Mrazek

Customer Company Name : First American Title Insurance Company Prepared On : 06/28/2023

© 2023 CoreLogic. All rights reserved

Arizona Schools For detailed information and statistics on Arizona schools please go to https://azreportcards.azed.gov/ First American Title Insurance Company, and the operating divisions thereof, make no express or implied warranty respecting the information presented and assume no responsibility for errors or omissions. First American, the eagle logo, First American Title, and firstam.com are registered trademarks or trademarks of First American Financial Corporation and/or its affiliates. ©2021 First American Financial Corporation and/or its affiliates. All rights reserved. NYSE: FAF 05117910421

PIMA COUNTY

School District Information

This map is provided for general location only. Please contact school districts for actual street boundaries

05249570321 TUCSON INT'L AIRPORT Air Force WSilverbellRd SSantaRitaRd N M t L emmon Hwy ESascoRd NF38 W Avra Valley Rd E Grand Va ey Dr NAguirre R d N L u c k e R d N W e n t z R d N Wa terman Mounta i n R d N Anway Rd W El Tiro Rd N Trico Rd W Tucker Rd W Rudas l Rd W Manvi e Rd SSanJoaquinRd WBopp Rd W Snyder H l Rd S M a r s e a r R d W Park Rd W Hermans Rd W Hermans Rd W Guy St W Bush Rd S G a v e y R d N C a e R i n c o n a d o S W m o R d S Shaw Rd S Sierrita Mountain Rd S K o b R d W TwinButtes Rd W Mcgee Ranch Rd S E s t a n c a D r EDesertDove E Hemlock Dr N Bea r C a n y o n R d W E Camino Del Cerro E Fairmount St S Swan Rd NFrontageRd W Emigh Rd W Fort Lowe Rd N P u m p S t a t ion dR E Nona Rd Ch efButteRd Lo al Ave N Trico Rd S Cattle Tank Rd Evalyn Rd SOwlHead R a n c h Rd GasLineRd S P ec a n R d N T r c o R d W Bayard Rd S S a n d a r o R d W i l l owSpri n gsRd N Dove Mountain Blvd SHelvetiaRd WAnamax Mine Rd W G a c i a R a n hc R d Road424 WRagged Top Rd W Ruby Star Dr WBritten RanchRd W Pima Mine Rd S Mcgee Ranch R d E Edw n Rd SGuildRd 8 0 NKINNEYRD S PICACHO HWY E BAUMGARTNER RD N S A N D A R I O R D N ANWAY RD W VALENCIA RD W MOORE RD W INA RD N 1 S T A V E E SUNRISE DR E SNYDER RD NSILVERBELLRD N S O L D I E R T R L E RIVER RD E PRINCE RD E SPEEDWAY BLVD S FREEMAN RD E 22ND ST E 22ND ST W IRVINGTON RD S N O G A L E S H W Y W VALENCIA RD SMISSIONRD W SPEEDWAY BLVD S O L D S P A N I S H T RL W NARANJA DR W TWIN PEAKS RD W PICTURE ROCKS RD W MANVILLE RD SKINNEYRD W MILE WIDE RD E SAHUARITA RD N TRICO RD S S A N D A R O R D PARK LINK DR S OLD N O G ALES HW Y S H O U G H T O N R D S L A C A N A D A DR W HELMET PEAK RD WAJOHWY N S W A N R D S KOLB RD S HOUGHTON RD W TANGERINE RD E GRANT RD S H O U G H T O N R D 9 5 WAJOHWY E VALENCIA RD NORACLE R D I10 I-19 77 77 77 86 86 286 10 19 10 10 Corona de Tucson Casas Adobes Catalina Green Valley Oracle Picture Rocks Three Points Vail Summit Tanque Verde Tucson Sahuarita Red Rock Saddlebrooke Marana Oro Valley Rillito Summerhaven Willow Canyon Oracle Junction Cortaro Continental Littletown 20 30 13 15 51 39 12 01 01 08 10 16 11 06
SCHOOL DISTRICTS 15 AJO UNIFIED 111 N. Well Road, Ajo, AZ 85321 520.387.5618 51 ALTAR VALLEY ELEMENTARY 10105 S. Sasabe Road, Tucson, AZ 85736 520.822.1484 10 AMPHITHEATER UNIFIED 701 W. Wetmore, Tucson, AZ 85705 520.696.5000 16 CATALINA FOOTHILS UNIFIED 2101 E. River Road, Tucson, AZ 85718 520.209.7500 39 CONTINENTAL ELEMENTARY 1991 E. Whitehouse Canyon, Green Valley, AZ 85614 520.625.4581 08 FLOWING WELLS UNIFIED 1556 W. Prince Road, Tucson, AZ 85705 520.696.8800 06 MARANA UNIFIED 11279 W. Grier Road, Marana, AZ 85653 520.682.3243 11 PIMA COUNTY JTED 2855 W. Master Pieces Dr, Tucson, AZ 85741 520.352.5833 30 SAHUARITA UNIFIED 350 W. Sahuarita Road, Sahuarita, AZ 85629 520.625.3502 12 SUNNYSIDE UNIFIED 2238 E. Ginter Road, Tucson, AZ 85706 520.545.2000 13 TANQUE VERDE UNIFIED 2300 N. Tanque Verde Loop, Tucson, AZ 85749 520.749.5751 01 TUCSON UNIFIED 1010 E. 10th Street, Tucson, AZ 85717 520.225.6000 20 VAIL UNIFIED 10701 E. Mary Ann Cleveland Way, Tucson, AZ 85747 520.879.2000 First American Title Insurance Company, and the operating divisions thereof, make no express or implied warranty respecting the information presented and assume no responsibility for errors or omissions. First American, the eagle logo, First American Title, and firstam.com are registered trademarks or trademarks of First American Financial Corporation and/or its affiliates. ©2021 First American Financial Corporation and/or its affiliates. All rights reserved. NYSE: FAF

SEARCH PARAMETERS

PARCEL:  120-08-0190

PARCEL: 120-08-0190

ZELLEROSS INVESTMENTS LLC

MAIL: 62005 FALL CREEK LOOP

LEGAL: NATIONAL CITY NO 4 LOT 18 EXC N7.5' & E10' FOR ALLEYS BLK 55

ADDITIONAL PROPERTY INFORMATION STANDARD LAND USE: COMMERCIAL LOT

END SEARCH

+ FIRST AMERICAN TITLE, FC0, LMRA PIMA, AZ 06/28/2023  03:13PM  RL13  INVESTIGATIVE SEARCH RESULTS PAGE 1 OF 1
INSTRUMENT REC DATE OWNER:
AFFIDAVIT    2021 1610707 06/10/2021
PLAT: LOT
BLOCK 055
CURRENT TAXES INFORMATION THROUGH 05/28/2023 LAND IMPR EXEMPT RATE AREA SPECIAL DISTRICTS PRIMARY  1,899  0  0  11.1537  0150 SECONDARY  3,761  0  0  2.7742  2022 TOTAL TAX BILLED 264.48 2022  TAX AMT TAX DUE INTEREST DATE PAID TOTAL DUE FIRST HALF  132.24  0.00  0.00  09/14/2022  0.00  SECOND HALF  132.24  0.00  0.00  03/12/2023  0.00  TOTAL CURRENT TAXES DUE 06/23 0.00 07/23 0.00 IMPROVEMENTS BLDG SQFT  0 FULL CASH VALUE  25,070 YEAR BUILT  0 LAND USE  00 21 NUMBER OF STORIES LOT SIZE  4,935 SQ FT STORIES HEIGHT  0 SCHOOL DISTRICT  0150 EXTERIOR WALLS LAND FULL CASH VALUE  25,070 GRADE MATERIALS IMPR FULL CASH VALUE  0 SALES SALE DATE SALE AMOUNT INSTRUMENT TYPE SELLER NAME VALIDITY 06/10/2021 435,000    2021 1610707 WD R A DEVELOPMENTS LLC M
00018

Turn static files into dynamic content formats.

Create a flipbook
Issuu converts static files into: digital portfolios, online yearbooks, online catalogs, digital photo albums and more. Sign up and create your flipbook.
120 08 019 by FirstAmAZ - Issuu