Skip to main content

PDF EXCLUSIVAS MX LUNES 27 DE OCTUBRE DE 2025B

Page 1


EN MEDIO DE MILES DE FLORES, CLARA

Brugada inaugura la Mega Ofrenda en el Zócalo de la CDMX

ESTUDIANTES DE LA UNAM RECAUDAN fondos para proyecto de autos de carreras con un prototipo

ARRESTAN A DOS SOSPECHOSOS DE COMETER EL ROBO DE JOYAS DEL LOUVRE

Dos sospechosos fueron arrestados este sábado en relación al robo de las joyas del museo Louvre en París. De acuerdo a las autoridades locales, uno de ellos fue detenido cuando estaba por tomar un avión en el aeropuerto Charles de Gaulle de la capital francesa.

BBC Noticias

Página 7

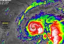
MELISSA SERÍA UN RARO HURACÁN ANTES DE UN HISTÓRICO IMPACTO EN JAMAICA

Melissa se intensificó rápidamente durante la madrugada del domingo y ahora es un huracán de categoría 4 con vientos de 233 km/h. El Centro Nacional de Huracanes de EE.UU. espera que se fortalezca hasta convertirse en un raro huracán de categoría 5 el lunes, antes de tocar tierra en Jamaica la mañana del martes.

CNN Noticias

Página 7

CLAUDIA SHEINBAUM INAUGURA NUEVO PLANTEL DE LA UNIVERSIDAD NACIONAL ROSARIO

Con el nuevo plantel se hace realidad el derecho a la educación; se fortalecen los servicios en el oriente del Estado de México y se reivindica a las mujeres que hicieron patria

UNIVERSIDAD 2

José de Jesús S. Arroyo Chávez

Presidente del Consejo Editorial

Delia Reyes Hernández

Directora General

Luis Covarrubias Cruz

Director Nacional de Noticias

Jaime Alvarado Jiménez

Director Administrativo

Liz Escalante Carrillo

Directora Comercial

Carlos Manuel Tlalolin Salas

Dirección de Estrategias Digitales

Auxiliar administrativo:

Ximena Martínez Arteaga

Productor Audiovisual:

Ian Marcos Elizalde González

Community Manager:

Berenice Palillero Zepeda

Editora: Leticia Parada Sánchez

Diseño

Editorial: Verónica Rosas Hernández

Web master: Isaac Romero Corona

Reportera: Mariel Serrano

Colaboradores: Mino D'Blanc e Iñaky Castillo

Jefe de distribución: Neftalí García A.

Exclusivas Puebla. -Distribuido por: Sindicato de Expendedores y Voceadores del Estado de Puebla -Dirección: Calle 25 Norte Número 406, colonia Tierra y Libertad, C.P. 72090 Puebla, Pue. Correo de contacto: contacto@exclusivaspuebla.com.mx

Exclusivas Puebla se publica de lunes a viernes con un tiraje de 5 mil ejemplares diarios. www.exclusivaspuebla.com.mx Teléfono de oficina y ventas: 22 11 61 67 54

Exclusivas Puebla es un medio de comunicación independiente en su línea editorial y no acepta como suyas las ideas de artículos firmados. Queda prohibida la reproducción parcial o total de la presente edición. Número de Certificado de Reserva otorgado por el Instituto Nacional de Derechos de Autor: en trámite. Número de certificado de Licitud de Título en Trámite. Número de Certificado de Licitud de Contenido: en trámite. Inscripción ante el Padrón de Medios Nacionales impresos en trámite.

ESTUDIANTES DE LA UNAM RECAUDAN FONDOS PARA PROYECTO DE AUTOS DE CARRERAS

LA JORNADA

Son algo más que atletas obsesionados con la velocidad. Son ingenieros y compiten, pero no a la manera convencional de una justa deportiva. El equipo UNAM Motorsports está integrado por setenta jóvenes estudiantes de la Universidad y provienen de distintas disciplinas, su proyecto desarrolla autos prototipo de la Fórmula SAE, esto es el acrónimo en inglés de la Sociedad de Ingenieros Automotrices.

Este domingo de Gran Premio de la Ciudad de México, llaman la atención estos jóvenes a la entrada del Autódromo Hermanos Rodríguez. Uno de ellos, Emiliano de León, ingeniero en computación, está ataviado como piloto y apenas se le intuyen los ojos por el casco que lleva puesto. Otro estudiante, porta un letrero que solicita: “Ayúdanos a llegar a la competencia” y exhiben un gran cartel con el nombre y el logotipo del equipo. Estamos recaudando fondos para continuar con nuestro proyecto”, relata Samantha Paz, estudiante de 21 años de la facultad de Ciencias Políticas y Sociales.

“Si bien la UNAM nos apoya con las instalaciones para desarrollar el proyecto, los recursos económicos y materiales, así como lo necesario para participar en las competencias internacionales, todo tenemos que buscarlos por nuestra cuenta”.

La mayoría son futuros ingenieros en distintas ramas técnicas, pero también participan otros estudiantes que aportan conocimientos diversos. Además de los enfocados en la mecánica y la mecatrónica, hay jóvenes de computación, telecomunicaciones, diseñadores industriales, químicos y físicos, psicólogos y contadores.

“En México no tenemos competencia porque somos el único equipo con

El automovilismo suele ser una disciplina un tanto elitistaadmite Emiliano- normalmente son gente que por tradición de familia se involucran en distintas categorías de competencia

estas características”, explica Samantha; “pero a nivel internacional sí es muy complicado porque en Europa los estudiantes pertenecen a universidades con mayores recursos materiales. En Alemania, la universidad de Stuttgart es una de la que más premios se lleva porque sus alumnos tienen más apoyos que los de otras regiones”.

Y cómo compiten estos jóvenes estudiosos que desarrollan tecnología. No es como en el automovilismo tradicional. No se trata de acortar tiempos ni adelantar posiciones sobre una pista. Lo que se evalúa en los torneos, que se realizan en diversas partes del mundo, es una serie de pruebas.

La competencia evalúa diversos elementos del prototipo, tanto en sus aspectos mecánicos, como de diseño y tecnología. Y desde luego -aclara Emiliano- de comportamiento sobre la pista.

Aficionado muere en Ciudad

Universitaria

de la UNAM

tras ser detenido

en

partido de Cruz Azul y Monterrey

Un hombre falleció en inmediaciones del Estadio Olímpico Universitario de la UNAM tras ser sometido, el aficionado había acudido al partido de futbol entre Cruz Azul y Monterrey.

De acuerdo con el personal de Protección Civil de la UNAM, la detención ocurrió al terminar dicho encuentro deportivo, pues se acercaron a retirar a las personas que aún permanecían ahí y el sujeto habría tenido una actitud violenta, además de que estaba en supuesto estado de ebriedad.

“Una persona en aparente estado de ebriedad, agredió verbal y físicamente al personal de seguridad del estadio, impidiendo violentamente su labor. La persona logró ser sometida por dichos elementos de seguridad para su entrega a las autoridades”, se pudo leer en el comunicado.

De acuerdo con la información proporcionada por la Dirección General de Análisis, Protección y Seguridad Universitaria de la UNAM, el incidente ocurrió después de la jornada 15 del torneo, cuando un aficionado, presuntamente bajo los efectos del alcohol, fue sometido y retirado del estacionamiento del recinto por personal de seguridad universitaria.

Cabe señalar que los guardias de seguridad involucrados en el fatal incidente ya fueron detenidos. De acuerdo con el periodista Carlos Jiménez, sus nombres son Brayan “N”, Noe “N”, Luis “N” y José “N”.

Después de ser detenido, el sujeto tuvo un desmayo “du-

“Somos ingenieros y pilotos”, dice Emiliano a través del casco de corredor; “tenemos que demostrar el desempeño del auto sobre la pista y para eso tenemos que estar capacitados en el manejo”. Cada prueba entrega un premio y al final se suman todos los resultados para declarar un vencedor de toda la competencia.

El automovilismo suele ser una disciplina un tanto elitista- admite Emilianonormalmente son gente que por tradición de familia se involucran en distintas categorías de competencia.

“Nosotros somos estudiantes. Llegamos a esto por nuestros propios intereses académicos y porque nos gusta. Aunque sí es costoso un año con este proyecto, en el que necesitamos unos 300 mil pesos en promedio y los obtenemos mediante los patrocinadores (empresas automotrices y de tecnología mecánica, principalmente)”, explica Samantha.

El personal de vigilancia de dicha casa de estudios colabora con las autoridades de CDMX para deslindar responsabilidades rante el trayecto de su traslado, sufrió un desvanecimiento, por lo que de inmediato se solicitó el apoyo de paramédicos para brindar la atención médica correspondiente. A pesar de los esfuerzos por reanimarlo lamentablemente se determinó la ausencia de signos vitales”.

En redes sociales circula un video que muestra el momento en que la persona es retirada en una de las camionetas de seguridad de la UNAM. Sin embargo, los detalles sobre lo ocurrido permanecen limitados a la versión oficial difundida por la institución. La UNAM ha manifestado su disposición a colaborar plenamente con las autoridades para esclarecer los hechos y deslindar responsabilidades.

La SSC confirmó el domingo 26 de octubre la detención de cuatro personas vinculadas al caso, aunque hasta el momento no se han dado a conocer más detalles sobre el avance de las investigaciones.

Infobae

EN MEDIO DE MILES DE FLORES, CLARA BRUGADA INAUGURA LA MEGA OFRENDA

Infobae

EN EL ZÓCALO DE LA CDMX

Con un despliegue de color y simbolismo, la Ciudad de México abrió las puertas de su tradicional Mega Ofrenda en pleno Zócalo capitalino la tarde de este 26 de octubre. La inauguración estuvo encabezada por la Jefa de Gobierno, Clara Brugada Molina, quien resaltó que este evento honra la memoria de los ancestros y reafirma la práctica viva de las festividades mexicanas relacionadas con el Día de Muertos.

Este año, la Mega Ofrenda destaca una profunda conexión con la raíz prehispánica gracias a su temática centrada en la Diosa Madre Tonantzin, las deidades femeninas creadoras y los pueblos originarios. La selección artística pone especial énfasis en la presencia de 12 mujeres emblemáticas de distintas culturas mesoamericanas. El diseño busca rendir tributo no sólo a lo femenino, sino al constante peregrinaje e historia de quienes han forjado la identidad de la ciudad.

La ofrenda de este 2025, titulada “Encuentro entre voces, poemas, peregrinaje, historia y tradición”, es resultado del trabajo del Colectivo Zion Art Studio. Este fue el proyecto ganador tras una convocatoria que reunió la opinión de más de 12 mil votantes, según datos difundidos por CarteleraCdMx. El homenaje se integra al marco de los 700 años de la fundación de México-Tenochtitlán.

Desde el 26 de octubre y hasta el 2 de noviembre, la plancha del Zócalo permanece abierta al público. El acceso es libre y está recomendado para mayores de doce años, permitiendo que tanto capitalinos como visitantes nacionales e internacionales se acerquen a la tradición sin ningún costo.

En la Mega Ofrenda destacan instalaciones visuales que logran una fuerte impresión desde cualquier ángulo. La estructura principal sobresale por su armazón de figuras de cartón que aluden a la muerte y a las deidades del mundo prehispánico. Los caminos y detalles están delineados por más de 100 mil flores de cempasúchil originarias

La jefa de Gobierno destacó la importancia de preservar las festividades mexicanas, resaltando el homenaje a los ancestros y la conexión con los pueblos originarios

de Xochimilco y Tláhuac. El uso masivo y ordenado de estas flores intensifica el simbolismo de la ofrenda, aludiendo a la permanencia de la vida y al tránsito hacia el más allá.

La experiencia en el Zócalo ha sido diseñada para estimular varios sentidos al mismo tiempo, buscando que la tradición se perciba no solo visualmente, sino también de forma olfativa y emocional. De esta manera, los visitantes recorren un ambiente saturado de aromas característicos, mientras los elementos visuales muestran símbolos del mundo prehispánico.

Este tributo monumental no se limita únicamente al Centro Histórico. Según CarteleraCdMx, otras demarcaciones de la ciudad celebran la fecha con mega ofrendas en sedes emblemáticas como el Deportivo Xochimilco, la Utopía Ollini en Iztapalapa, el Parque Tezozómoc en Azcapotzalco, el Parque del Mestizaje en Gustavo A. Madero, la Plaza de las Tres Culturas en Cuauhtémoc y el tradicional Mixquic en Tláhuac.

Asesinan en Durango al destacado periodista Miguel Ángel Beltrán

Infobae

El 26 de octubre fue informado el hallazgo del cuerpo del periodista Miguel Ángel Beltrán en Durango, los primeros informes indican que cerca del cadáver había un mensaje.

Además, el medio Contexto de Durango confirmó la muerte de quien fuera su colaborador.

“Lamentamos profundamente el fallecimiento de nuestro compañero periodista, Miguel Ángel Beltrán“, se puede leer en las redes sociales del portal local.

Información preliminar indica que el cuerpo del periodista fue reconocido el sábado 25 por uno de sus hijos, el cadáver estaba envuelto y con un mensaje, según compartió su hijo.

“Lamentamos el deceso del periodista de medios impresos, Miguel Ángel Beltrán“, escribió el portal Meganoticias la mañana del 26 de octubre. Dicho periodista tambien contaba con un perfil en Tik Tok. donde de igual manera compartía información.

Ángel Beltrán tenía 60 años de edad y se había comunicado con familiares por última vez el pasado jueves 23, según recoge el medio Contexto de Durango, el cual detalla que el hombre hallado sin vida también fue vocero del Sindicato Nacional de Trabajadores de la Educación (SNTE) de Coahuila.

Hasta el momento no hay información de los presuntos agresores del comunicador.

SUMAN SIETE PERIODISTAS

ASESINADOS EN MÉXICO

DURANTE 2025

TRABAJADORES DE MEDIOS DE COMUNICACIÓN

Trabajadores de medios de comunicación se manifiestan en la costera Miguel Alemán del balneario de Acapulco, en el estado de Guerrero (EFE/ David Guzmán)

Calletano de Jesús Guerrero, quien fue atacado por sujetos armados en el Estado de México, era subdirector de la organización Global México y fue agredido en enero.

Kristian Uriel Martínez Zavala, reportero independiente de 28 años que fue atacado a balazos en Guanajuato mientras viajaba en un vehículo, era director del portal de noticias El Silaoense MX.

De igual manera en Guanajuato fue registrada la desaparición y homicidio de Raúl Irán Villarreal Belmont, dicho hombre era abogado y director de un medio local. Asimismo, fue candidato por parte del partido Movimiento Ciudadano a alcalde de San Luis de la Paz.

Mientras que José Carlos González Herrera fue atacado a balazos en Guerrero. En redes sociales era conocido con el apodo El Fénix.

Ángel Sevilla, quien estuvo a cargo de la dirección de un medio local y cubría temas de seguridad, fue asesinado en Sonora.

De igual manera, Ronald Paz Pedro fue asesinado en Guerrero minutos después de realizar una transmisión en vivo. A dichos casos se suma la muerte de Miguel Ángel Beltrán

Datos registrados por la organización Artículo 19 indican que durante el 2025 han sido asesinados seis periodistas, con el caso de Durango suman siete comunicadores muertos.

EN ENTREVISTA GENÉRICA, THALÍA PLATICÓ DE “OJITOS MEXICANOS”, SU NUEVO SENCILLO

La cantante y actriz mexicana celebra 35 años de trayectoria como solista

Mino D’Blanc

En entrevista genérica para la fuente de espectáculos de los medios de comunicación internacionales, nacionales y locales, la cantante y actriz Thalía platicó sobre “Ojitos Mexicanos”, su nuevo sencillo y que está en género de cumbia, pero sin perder el sonido inconfundible que ella le ha dado a su música a través de su voz, de su talento.

Esto es lo que la artista mexicana comentó:

-Thalía y “Ojitos Mexicanos”:

Al hablar de qué por qué después de tres décadas de trayectoria, decide regresar ahora con esta cumbia “Ojitos Mexicanos”, mencionó que le emociona mucho lanzar esta canción porque para ella es regresar a un lugar en donde ella se siente como pez en el agua y que son las cumbias, que son esas historias de amor que se cuentan con el corazón, que se cuentan con el alma.

-Lo que sintió al escuchar por primera vez “Ojitos Mexicanos”: La artista argumentó que cuando recibió en el mes de febrero la canción “Ojitos Mexicanos”, sintió lo mismo que cuando recibió “Amor a la Mexicana” por primera vez. “Así esa electricidad, esa magia, esa piel chinita, y dije “pueden ser como hermanas viviendo en universos paralelos, pero son muy yo”, discernió, a lo que agregó: “Así que inmediatamente me fui al estudio a grabar “Ojitos Mexicanos”. La verdad, me llenó el corazón, me hace sentir feliz, me encanta el sonido de la cumbia, me encanta el acordeón, me encanta la música en vivo y quería compartirla de inmediato con mi gente”.

-Sobre el video de “Ojitos Mexicanos”:

En relación al proceso creativo del video y los elementos que quiso destacar en el mismo, argumentó: “La verdad que uno siempre está creándose historias, conceptos, ideas para no repetirse o para hacer cosas que sorprendan a la gente. Y cuando canté la canción y era la hora de hacer el video, la verdad que me puse un poquito nerviosa, pero cuando empecé a vivir la canción y a escucharla, inmediatamente dije “bueno, pues es que éste es un amor tan puro como si fuera el de mi costillita, el de mi Marimar, ese personaje tan hermoso que todo mundo, incluyéndome a mí, amó”. Entonces sentí que contar una historia así de unos ojitos mexicanos, de un amor tan inocente, con algunos guiños de presentaciones mías durante todos estos años y tantas décadas; presentaciones, vestuarios, movimientos, iluminación, escenografía, coreografía, es como sembrar esas semillitas para todos los que son fans de Thalía de hueso colorado, los fans de hueso colorado de Thalía y es eso, la han ido descubriendo, la han cachado al aire y eso es lo que más me gusta de este video.

-Este año celebra 35 años de trayectoria como solista y también es el aniversario de tres discos fundamentales en su carrera:

Este 2025 celebra el aniversario de “En éxtasis”, “Arrasando” y “El sexto sentido”, que son tres discos fundamentales en su trayectoria y que sin duda alguna, marcaron mucha importancia en la música y en la cultura pop latina.

“Estoy enamorada de estos discos; han sido un parteaguas para mi carrera. Han sido ya clásicos de mis fans, de mis seguidores y eso me hace muy feliz, es como una caricia al corazón y qué

bonito seguir compartiendo esta música a todas las nuevas generaciones”, reflexionó Thalía.

-El recuerdo de esas épocas de la vida artística de Thalía: Sobre lo que recuerda y el cómo siente que esas versiones viven hoy en ella, discernió: “de verdad que me sorprendieron hasta a mí. Además cumplí este año también 35 años como solista, entonces todo se juntó y dije “es el momento perfecto para remasterizar estos álbumes”. O sea, hay que recordar que yo grabé la mayoría de esta música en un sistema análogo, entonces para pasarlo al sistema digital y que se cose ahora con la tecnología, las plataformas y todo lo que nos permite ahora compartir música ahora, se me hizo una oportunidad de oro”.

En relación al sonido en la canción dijo sentirse contenta porque es increíble, impecable y que sigue teniendo la esencia de esa primera vez que la gente escuchó estas canciones.

-Las telenovelas que protagonizó siguen viéndose con gran éxito en muchos países, lo que hace que ella como mujer latina y como artista universal que es, siga conectándose con tantas generaciones del mundo.

“Estas novelas nos han unido a través de los años. Son novelas llenas de amor, de historia, de drama, pero sobretodo donde la protagonista soñaba y soñaba en grande. Y creo que eso es lo que todos tenemos, esos sueños que parecen ser inalcanzables, pero que estas protagonistas, mis Marías y las novelas en las cuales yo participé, estas protagonistas alcanzaron su sueño, crearon su éxito, establecieron una nueva vida para ellas y eso es lo que creo que ha resonado año tras año, década tras década, sin importar el idioma, sin importar el país, sin importar que fuera de la televisión ahora a streaming, es lo que nos ha cautivado y ahora enamorado; digo nos ha porque a mì esos personajes en lo personal me han cambiado la vida y me han acercado más a mi público.

-Sobre las cosas que vienen en la carrera de Thalía, incluyendo nueva música:

“Hay muchas cosas que estoy preparando para ustedes en todos los ámbitos. Ya saben que a mí me gusta siempre sorprenderlos, sorprender a mi gente, a mi público precioso. Primero que nada desde un lugar de agradecimiento y de celebración porque el estar aquí parada tantos años es gracias a ti, gracias a cada uno de ustedes, entonces siempre les tengo proyectos y cosas. En estos momentos estoy cien por ciento finalizando algunos detalles en el estudio; las 24/7 estoy metida en el estudio y contando los días para poder sentarme aquí una vez más para hablar de las cosas que vienen en camino”, puntualizó, a la vez que invitó a la gente a que compartan el video de “Ojitos Mexicanos”, misma que ya está en todas las plataformas digitales, que le den likes a la canción y al video y que la sigan a ella en todas sus redes sociales. También convidó al público a que no se pierdan toda la información en su página web que es thalia.com, ya que comenta que está creando un fandom especial que va a tener cosas únicas que nadie más va a tener. “Vivan la vida con mucho amor. Los amo de verdad mis ojitos mexicanos. Besitos”, finalizó.

“Los hilos del pasado” se estrena este lunes 27 de octubre a las 21:30 horas por “las estrellas”

Mino D’Blanc

El pasado jueves se presentó ante los representantes de los diferentes medios de comunicación internacionales, nacionales y locales, “Los hilos del pasado” que es la nueva telenovela producida por el experimentado y talentoso José Alberto Castro para TelevisaUnivision, protagonizada por Yadhira Carrillo, Eduardo Santamarina, David Zepeda, Emmanuel Palomares y Bárbara López. Fue en una locación al sur de la ciudad de México en que fue presentado el elenco y fue de una manera muy diferente a lo que son ese tipo de presentaciones, ya que en esta ocasión fue a través de una pasarela, como si fuera desfile de modas.

-Sinopsis: Carolina (Yadhira Carrillo) es una exitosa diseñadora de modas y está casada con Manuel (Eduardo Santamarina) quien es un famoso productor musical. Cuando ella está en la cumbre de su carrera, el destino la pone frente a Cristina (Bárbara López), una hermosa joven a quien maltrata y hostiga, ya que se opone rotundamente a que tenga una relación con su hijastro Carlos (Emmanuel Palomares). Lo que Carolina no sabe es que Cristina es la hija que se vio obligada a abandonar hace 20 años. Ahora, con una vida completamente diferente y en la cumbre de su carrera, Carolina descubre la verdad y hará hasta lo imposible para recuperar el amor de su hija.

-Elenco: además de las y los protagonistas antes mencionados, también actúan Nataha Dupeyrón, Azela Robinson, Laura Flores, Mark Tacher, Rafael Inclán, Raquel Garza, Daniel Tovar, José Pablo Minor, Lorena Meritano, Eugenio Bartilotti, Clarisa González, Daniela Martínez, Luz María Aguilar, Valeria Masini y Sergio Goyri.

“Los hilos del pasado” es una adaptación que realizó la escritora y actriz mexicana Liliana Abud de la exitosa telenovela chilena “Cristal” (1985) de Delia Fiallo. La versión es del propio productor José Alberto Castro y de Vanesa Varela. La dirección de escena es de Salvador Garcini y de Luis Manzo. El tema musical de la telenovela es interpretado por Cristian Castro y por Fernanda Castro, quien es la compositora en colaboración con Gelin Hau.

“Los hilos del pasado” se estrena este 27 de octubre por “las estrellas” con transmisiones de lunes a viernes en el horario estelar de las 21:30 horas.

Protagonizada por Yadhira Carrillo, Eduardo Santamarina, David Zepeda, Emmanuel Palomares y Bárbara López

SHEINBAUM INAUGURA UN NUEVO PLANTEL DE LA UNIVERSIDAD

NACIONAL ROSARIO

CASTELLANOS EN CHALCO, EDOMÉX

En Chalco, Estado de México, la Presidenta Claudia Sheinbaum Pardo inauguró un nuevo plantel de la Universidad Nacional Rosario Castellanos (UNRC), con lo que se hace realidad el derecho a la educación de las y los jóvenes mexiquenses.

“Son tres cosas las que celebramos el día de hoy: Uno, el derecho a la educación; dos, el derecho al bienestar de todos los que viven en el oriente del Estado de México; y tres, celebramos a las grandes mujeres que han formado nuestra patria, entre ellas a Rosario Castellanos”, aseveró.

Expuso que el nuevo plantel de la UNRC funcionará a través de un modelo híbrido: mil estudiantes asistirán de manera presencial y 4 mil a distancia. Recordó que la meta de su gobierno es generar 350 mil espacios nuevos de educación superior, a través de la UNRC, de las Universidades para el Bienestar Benito Juárez García, del Instituto Politécnico Nacional (IPN) y del Tecnológico Nacional de México (TecNM).

Agregó que la inauguración de este plantel forma parte del Plan Integral de la Zona Oriente del Estado de México, que contempla garantizar el acceso a todos los servicios públicos en 10 municipios mexiquenses: Chalco, Chicoloapan, Ecatepec, Ixtapaluca, La Paz, Nezahualcóyotl, Texcoco, Tlalnepantla y Valle de Chalco, para el beneficio de 10 mil millones de personas.

Con la presencia de Gabriel Guerra Castellanos, hijo de Rosario Castellanos, la Jefa del Poder Ejecutivo Federal recordó que poner el nombre de esta maestra y defensora de la educación pública para las niñas en la institución de Educación Superior tiene el objetivo de reivindicar a todas las mujeres que a lo largo de la historia de México han construido a la patria.

El secretario de Educación Pública, Mario Delgado Carrillo, destacó la visión de la Pre-

sidenta para garantizar el acceso a la educación como eje de la Cuarta Transformación, con más de 5.6 millones de estudiantes de secundaria que ya reciben la Beca Rita Cetina y la construcción de 20 nuevas preparatorias en todo el país.

La secretaria de Ciencia, Humanidades, Tecnología e Innovación, Rosaura Ruiz Gutiérrez, recordó que la Universidad Rosario Castellanos nació desde que la Presidenta era Jefa de Gobierno en la Ciudad de México y ahora es una institución nacional que tiene como meta construir un campus por cada entidad federativa. Agregó que actualmente cuenta con 22 licenciaturas y 15 posgrados que atienden la demanda educativa de las y los jóvenes, pero también introduce nuevas carreras para cubrir las necesidades profesionales del país.

La gobernadora del Estado de México, Delfina Gómez Álvarez, destacó la energía de la Presidenta de México, quien además de encabezar la entrega de esta nueva universidad, supervisó obras del Mexibús, entregó tarjetas para la Pensión Mujeres Bienestar a más de mil mujeres de Chicoloapan y se va a reunir con las y los alcaldes de los 10 municipios del oriente de la entidad.

Con el nuevo plantel se hace realidad el derecho a la educación; se fortalecen los servicios en el oriente del Estado de México y se reivindica a las mujeres que hicieron patria

Recordó que la meta de su gobierno es crear 350 mil nuevos espacios para educación superior

Arrestan a dos sospechosos de cometer el robo de joyas del Louvre

Dos sospechosos fueron arrestados este sábado en relación al robo de las joyas del museo Louvre en París.

De acuerdo a las autoridades locales, uno de ellos fue detenido cuando estaba por tomar un avión en el aeropuerto Charles de Gaulle de la capital francesa.

Objetos con un valor cercano a los US$100 millones fueron sustraídos del famoso museo parisino el pasado domingo por cuatro hombres que ingresaron al lugar a plena luz del día.

El ministro de Justicia de Francia, Gérald Darmanin, señaló que los protocolos de seguridad del museo habían fallado y que el robo había lastimado la imagen de Francia ante el mundo.

Las autoridades francesas señalaron en un comunicado que el arresto se había realizado en la noche del sábado sin especificar cuántas personas habían sido arrestadas.

Uno de los sospechosos se disponía a viajar a Argelia, según informaron fuentes policiales a medios franceses, mientras que el otro se dirigía a Mali.

La policía puede retener a los sospechosos por 96 horas.

Las autoridades francesas también criticaron la “divulgación prematura” de información relacionada con el caso, añadiendo que esto obstaculizó los esfuerzos para recuperar las joyas y encontrar a los ladrones.

UN ROBO DE PELÍCULA

Según la oficina de la Fiscalía Francesa, los hombres llegaron a las 09:30 hora local, poco después de la apertura del museo al público.

El grupo de ladrones arribaron al lugar apoyados por un elevador mecánico montado en un vehículo para acceder a la Galería de Apolo a través de un balcón cercano al río Sena.

Las imágenes del lugar de los hechos muestran la escalera que conducía a una ventana del primer piso.

Dos de los ladrones entraron cortando la ventana con herramientas eléctricas.

Luego amenazaron a los guardias, quienes evacuaron el recinto. Entonces procedieron a cortar el cristal de dos vitrinas que contenían joyas.

Un informe preliminar ha revelado que una de cada tres salas de la zona del museo allanada no contaba con cámaras de circuito cerrado de televisión.

La Policía arrestó a sospechosos que estarían relacionados con el robo de joyas invaluables del Museo del Louvre, justo cuando uno de ellos intentaba salir de Francia, dijo la Fiscalía de París

La policía francesa afirma que los ladrones estuvieron dentro durante cuatro minutos y escaparon en dos motocicletas que los esperaban afuera a las 09:38 de la mañana.

Desde entonces se han reforzado las medidas de seguridad en las instituciones culturales francesas.

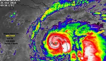
Melissa sería un raro huracán de categoría 5 antes de un histórico impacto en Jamaica

CNN Noticias

Melissa se intensificó rápidamente durante la madrugada del domingo y ahora es un huracán de categoría 4 con vientos de 233 km/h. El Centro Nacional de Huracanes de EE.UU. espera que se fortalezca hasta convertirse en un raro huracán de categoría 5 el lunes, antes de tocar tierra en Jamaica la mañana del martes.

El centro del huracán se encuentra a unos 185 km al sur de Kingston, Jamaica, y la tormenta avanza hacia el oeste a solo 8 km/h.

Alerta máxima: así se preparan en Jamaica mientras el huracán Melissa se fortalece rumbo a categoría 5

Quienes se encuentren en Jamaica deben “buscar refugio ahora”, dijo el NHC la mañana del domingo. “Los vientos destructivos y las fuertes lluvias de hoy y el lunes causarán inundaciones repentinas catastróficas y potencialmente mortales, así como numerosos deslizamientos de tierra, antes de que lleguen vientos potencialmente devastadores la noche del lunes y la mañana del martes”. Lluvias torrenciales afectan partes de Haití y es probable que se estén produciendo condiciones de tormenta tropical en Jamaica. Las fuertes lluvias durarán varios días, con impactos potencialmente catastróficos y mortales.

“Hago un llamado a los jamaicanos para que tomen en serio esta amenaza climática”, dijo el primer ministro de Jamaica, Andrew Holness. “Tomen todas las medidas para protegerse”.

Jamaica parece ser el epicentro de la triple amenaza de Melissa: inundaciones extremas por lluvias, daños por viento y marejada ciclónica. Se pronostica que Melissa tocará tierra en Jamaica temprano el martes, pero las fuertes lluvias ya se extienden sobre la isla el domingo. Haití también sigue en medio de las amenazas destructivas de inundaciones y deslizamientos de tierra de Melissa.

“Se espera que la marejada ciclónica afecte principalmente el lado sur de la isla, al este del centro, a medida que se acerca a la costa sur y comienza a impactar”, dijo el domingo Evan Thompson, director principal del Servicio Meteorológico de Jamaica.

Está vigente una advertencia de huracán para Jamaica, donde se esperan condiciones de huracán para el lunes. Cuba también emitió una advertencia de huracán para las provincias orientales de Granma, Santiago de Cuba, Guantánamo y Holguín. El sur de Haití también está bajo una alerta de huracán y una advertencia de tormenta tropical.

Melissa se ha estado moviendo a paso de tortuga durante días y no aumentará su velocidad pronto, debido a que seguirá avanzando generalmente hacia el oeste hasta la tarde del lunes.

Ese movimiento lento ya ha causado problemas. Bandas de lluvias torrenciales han inundado Haití y República Dominicana durante gran parte de la semana, generando inundaciones y deslizamientos de tierra. Al menos tres muertes han sido reportadas en Haití debido a la tormenta, dos de ellas como resultado de un deslizamiento de tierra, informó la Agencia de Protección Civil de Haití en un comunicado. En República Dominicana, al menos una persona murió y más de 1.000 personas han sido evacuadas o desplazadas, dijeron las autoridades el viernes.

Se espera que Melissa continúe intensificándose la noche del domingo y el lunes, alcanzando la rara categoría 5, aumentando su amenaza de vientos destructivos y marejada ciclónica junto con lluvias intensas a medida que se acerca a la isla.

Se espera que Melissa sea el huracán más fuerte registrado en tocar tierra en Jamaica, ya sea como una categoría 4 de alta intensidad o categoría 5. Este fortalecimiento explosivo ocurre con más frecuencia a medida que el mundo se calienta debido a la contaminación por combustibles fósiles. Tres de los cuatro huracanes del Atlántico de esta temporada experimentaron una intensificación extremadamente rápida: Erin, Gabrielle y Humberto. LAS AMENAZAS EXTREMAS DE MELISSA

Jamaica, Haití y el sur de República Dominicana enfrentarán lo peor de la tormenta hasta al menos principios de la próxima semana. Los siguientes en la línea para recibir fuertes vientos, marejada ciclónica y lluvias intensas serán el oriente de Cuba, el sur de Bahamas y Turks y Caicos.

Se esperan acumulaciones de lluvia de hasta 1.000 mm en partes del sur de La Española y Jamaica hasta el martes, con máximos locales de 1.000 mm. El oriente de Cuba podría recibir acumulados de hasta 500 mm.

Turn static files into dynamic content formats.

Create a flipbook