Ateuves 109

Page 1

Holter:

Franqueo concertado nº 50/214 ACTUALIZACIÓN PROFESIONAL PARA EL PERSONAL DEL CENTRO VETERINARIO DESCUBRE NUESTRA SELECCIÓN DE LIBROS ESPECIALES PARA ATV www.edicionesedra.com PUBLICACIÓN BIMESTRAL I AÑO 19 I Nº 109 I MARZO/ABRIL 2024 Nutrición de pacientes geriátricos: claves para un envejecimiento saludable MARKETING Y ATENCIÓN AL CLIENTE Identifica los 10 factores que provocan reclamaciones en la clínica
el
de la información Iberzoo+Propet ofrece formación excepcional; planifica tu asistencia
contra
parásitos
de los auxiliares
asistir en las radiografías diagnósticas
poder
Estrategias para luchar
los
externos Habilidades
para

ACTUALIZACIÓN PROFESIONAL PARA EL PERSONAL DEL CENTRO VETERINARIO

Julio Allué1

EDITOR

Contacte con nosotros a través de ateuves@grupoasis.com si desea publicar un artículo, y remita sus notas de prensa a notasdeprensa@grupoasis.com

REDACCIÓN

Natalia Sagarra1, Sheila Riera1, M. Ángel Ordovás, Israel Salvador, Alejandro Vicente1

Corresponsales Madrid: Raquel Sanz, Elena Manzano1

Colaboradora: Rosa Matas

RESPONSABLE DE DISEÑO Ana Belén Mombiela

JEFA DE DISEÑO Teresa Gimeno

DISEÑO Y MAQUETACIÓN Erica García, Marian Izaguerri, Marisa Lanuza

Escriba a publicidad@grupoasis.com si desea anunciarse, y a suscripciones@grupoasis.com para altas, bajas o modificaciones en sus datos de contacto

RESPONSABLE DE PUBLICIDAD Ana Caballero1

PUBLICIDAD Pilar Angás1, Jorge Pérez1, Laura Montón1, Leticia Escuín1, María Puig2

SOPORTE DE PUBLICIDAD Raquel Miguel, Rocío Sarrate

ADMINISTRACIÓN Beatriz Sanz, Carmen Ezquerro, Miriam de la Torre

SUSCRIPCIONES suscripciones@grupoasis.com

1Licenciado/a en Veterinaria, 2Graduada en Farmacia

EMPRESA EDITORA Grupo Asís Biomedia, S.L.

PREIMPRESIÓN E IMPRESIÓN Villena Artes Gráficas

EMPRESA MANIPULADORA Ecological Mailing, S.L

DEPÓSITO LEGAL: Z-191-2006 - ISSN: 1885-8481

Grupo Asís Biomedia está asociado a (miembro de y ) y a , (miembro de , y )

Centro Empresarial El Trovador, planta 8, of. I

Plaza Antonio Beltrán Martínez, 1 50002 Zaragoza (España)

Tel.: 976 461 480 - Fax: 976 423 000

Email: ateuves@grupoasis.com

Web: www.ateuves.es

ENTIDADES COLABORADORAS

COMITÉ ASESOR

Cristina Colmena (Clínica Veterinaria Los Madrazo, Madrid)

Gema Ginestar (Hospital Veterinario Marina Alta, Denia)

Mª José Bustamante (Clínica Veterinaria La Creu, Alfaz del Pi)

Ana López (Clínica Veterinaria Indautxu, Bilbao)

Cristina Martínez (Clínica Veterinaria San Francisco de Asís, Madrid)

Laura Pérez (Clínica Veterinaria Montjuïc, Barcelona)

Lluisa Royo (Hospital Veterinari Montjuïc, Barcelona)

Guillermina Vinardell (Hospital Veterinari del Maresme, Mataró)

Ester Moreno (Clínica Veterinaria Veracruz, Madrid)

Mª Theresa Alcalá (Clínica Veterinaria Parque Central, Valencia)

Beatriz Navarrete (Centro Veterinario Cerceda, Madrid)

Emily Badaraco (Gattos Centro Clínico Felino, Madrid)

Irene Martínez (Gattos Centro Clínico Felino, Madrid)

La responsabilidad de los artículos, reportajes, comunicados, etc. recae exclusivamente sobre sus autores. El editor sólo se responsabiliza de sus artículos o editoriales. La ciencia veterinaria está sometida a constantes cambios. Así pues es responsabilidad ineludible del veterinario clínico, basándose en su experiencia profesional, el correcto diagnóstico de los problemas y su tratamiento. Ni el editor, ni los autores asumen responsabilidad alguna por los daños y perjuicios, que pudieran generarse, cualquiera que sea su naturaleza, como consecuencia del uso de los datos e información contenidos en esta revista.

De acuerdo con la normativa vigente en materia de protección de datos Grupo Asís Biomedia, SL., es responsable del tratamiento de sus datos personales con la finalidad de enviarle comunicaciones postales de nuestras revistas especializadas, así como otras comunicaciones comerciales o informativas relativas a nuestras actividades, publicaciones y servicios, o de terceros que puedan resultar de su interés en base a su consentimiento. Para ello, Grupo Asís podrá ceder sus datos a terceros proveedores de servicios de mensajería. Podrá revocar su consentimiento, así como ejercer sus derechos de acceso, rectificación, supresión, oposición, limitación y portabilidad enviando un correo electrónico a protecciondatos@grupoasis.com, o una comunicación escrita a Grupo Asís en Centro Empresarial El Trovador, planta 8, oficina I, Plaza Antonio Beltrán Martínez 1, 50002, Zaragoza (España), aportando fotocopia de su DNI o documento identificativo sustitutorio e identificándose como suscriptor de la revista. Asimismo, si considera que sus datos han sido tratados de forma inadecuada, podrá presentar una reclamación ante la Agencia Española de Protección de Datos (C/ Jorge Juan, 6. 28001 – Madrid www.agpd.es).

Queda prohibida la reproducción total o parcial del contenido de esta obra sin previa autorización escrita. La Editorial a los efectos previstos en el artículo 32.1 párrafo segundo del vigente TRLPI, se opone expresamente a que cualquiera de las páginas de esta obra o partes de ella sean utilizadas para la realización de resúmenes de prensa. Cualquier forma de reproducción, distribución, comunicación pública o transformación de esta obra solo puede ser realizada con la autorización de sus titulares, salvo excepción prevista por la ley. Diríjase a CEDRO (Centro Español de Derechos Reprográficos) si necesita fotocopiar o escanear algún fragmento de esta obra (www.conlicencia.com; 91 702 19 70 / 93 272 04 47).

ATEUVES

ATEUVES 111. El número de julio/agosto tratará sobre el protocolo de actuación ante un paciente en shock

Si deseas participar en la revista puedes ponerte en contacto con nosotros a través del email ateuves@grupoasis.com

Nº 109 sumario SECCIONES EN PORTADA / PRÓXIMOS
NÚMEROS
110.
dedicado
atención
paciente
El número mayo/junio estará
a la
del
hospitalizado.
Actualidad Iberzoo+Propet ofrece formación excepcional para los asistentes veterinarios; planifica tu asistencia 4 Noticias  30, 31 Agenda formación  31 Novedades  32, 33 Opinión Maltrato con un collar de diamantes  34 CLÍNICA DÍA A DÍA Estrategias para luchar de forma efectiva contra los parásitos externos 12 Habilidades de los auxiliares para asistir en las radiografías diagnósticas 14 MARKETING Y ATENCIÓN AL CLIENTE Identifica los 10 factores que provocan reclamaciones en la clínica 22 6 EN PORTADA ALIMENTACIÓN ATEUVES I PUBLICACIÓN BIMESTRAL I MARZO 2024 I Nº 109 ACTUALIZACIÓN PROFESIONAL PARA EL PERSONAL DEL CENTRO VETERINARIO Patrocinador Nutrición en pacientes geriátricos: claves para un envejecimiento saludable ■ Manejo nutricional para las principales patologías en geriatría ■ Amplia oferta de dietas ■ Las claves de la nutrición en geriatría FISIOLOGÍA
el poder de la información 24 ateuves Nº109 l MARZO 2024
Y ENFERMEDADES Holter:

Iberzoo+Propet ofrece formación excepcional para los asistentes veterinarios Planifica tu asistencia

Durante los días 13, 14 y 15 de marzo se celebra Iberzoo+Propet, que acoge el Congreso Anual de la Asociación Madrileña de Veterinarios de Animales de Compañía (AMVAC) y que junto a ANAVET ofrece formación para los auxiliares, en el Centro de Convenciones Norte de Ifema (Madrid).

Iberzoo+Propet 2024 albergará el congreso anual de la Asociación Madrileña de Veterinarios de Animales de Compañía (AMVAC) y ofrecerá valiosa formación para los asistentes técnicos veterinarios. La sede será el Centro de Convenciones Norte de Ifema (Madrid). Descubre y organiza las oportunidades de aprendizaje, desde talleres certificativos hasta seminarios sobre análisis coprológico y el I Congreso de Especialistas Felinos. Una de las claves del éxito profesional es contar con una formación continua adecuada. Estar al tanto de las últimas prácticas, avances médicos y tecnológicos en el campo veterinario no solo permite a los auxiliares mejorar sus habilidades y conocimientos, sino que también contribuye directamente a ofrecer un estándar superior de atención.

Consulta el programa completo del Congreso para ATV de Vetmadrid 2024.

Miércoles 13 de marzo

De 10:30-14:30 Taller Recover

El taller Recover (BLS) es para auxiliares que hayan completado el curso en línea “CPR, Basic”, impartido por Verónica Salazar y Rocío Cañellas.

Recover ofrece la certificación en Soporte Vital Básico (BLS) a través de un proceso de 2 pasos que incluye capacitación online y presencial.

Los cursos online deben completarse antes del día 10 de marzo. Es imprescindible tener

aprobada la parte online para acceder al taller de certificación Recover. La organización comprobará con Recover este punto. El taller concluirá con una evaluación de las habilidades para BLS. La inscripción incluye el café y la comida.

Jueves 14 de marzo

De 11 a 13 h seminario sobre análisis coprológico en la clínica de pequeños animales

El jueves 14 de marzo de 11 a 13 h, de la mano de Irene Martínez, técnica superior en laboratorio clínico y biomédico, en anatomía patológica y citodiagnóstico y en imagen para el diagnóstico y medicina nuclear, y autora del libro “Cómo sobrevivir al laboratorio. Guía práctica para asistentes técnicos veterinarios” de la editorial EDRA impartirá un seminario práctico.

El tema central es el análisis coprológico en la clínica de pequeños animales. Podremos ver la labor de los auxiliares de veterinaria en el laboratorio, la importancia de los análisis coprológicos en la clínica diaria, cómo hacerlos correctamente, y a través de casos clínicos, de manera práctica, la información que podemos obtener de su realización. Este seminario incluye la comida del jueves 14 de marzo en el comedor del congreso.

De 13 a 19 h I Congreso de Especialistas Felinos

Ya a las 13h los auxiliares podrán participar en el I Congreso de Especialistas Felinos en la parte orientada a Bienestar Felino en las Clínicas Veterinarias, con la ponente Sheila Wills, consultora independiente en medicina felina.

v 4 ateuves Nº109 l MARO 2024 ACTUALIDAD
Redacción Ateuves
Ground Picture/shutterstock.com

15 de marzo

De 9,30 a 19,30 h Programa para ATV VetMadrid 2024

El congreso formativo para ATV coorganizado por la Asociación Nacional de Asistentes Veterinarios (ANAVET) y la asociación veterinaria AMVAC tiene como tema central la medicina y la cirugía del sistema digestivo y de la nutrición con la siguiente programación:

• 9,30 - Enfermedad periodontal y limpieza de boca. Aurora Mateo

• 10:30 - Manejo del estreñimiento en perros y gatos. Ángel Sainz

• 12,30 - Alimentación de perros y gatos ¿Dietas alternativas? Juan Carlos Giménez

• 13,30 - La enfermedad que afecta al 50% de tus pacientes. Marta Ballesteros

• 16:00 - Alimentación en neonatos (manejo nutricional en cachorros huérfanos). María Orallo

• 17:00 - Alimentación en animales geriátricos. María Orallo

• 18:30 – Alimentación en nuevos animales de compañía. Javier Fernández

Los proceeding estarán disponibles 15 días después de la celebración del congreso y hasta febrero del 2025.

Ven a visitarnos

Grupo Asís, empresa editora de la revista Ateuves, también presentará sus novedades en esta edición de Iberzoo+Propet. Como por ejemplo el libro “Guía práctica de anestesia en pequeños animales para asistentes en centros veterinarios”. Acércate al stand 10B05 y, además de ver todas las obras del catálogo editorial, tendrás el 15 % de descuento en la compra de libros. Igualmente, podrás conocer toda la oferta formativa de Grupo Asís y disfrutar de un 15 % de descuento en los cursos. Pregunta por el próximo curso tutorizado con experto “Manejo libre de estrés en la clínica veterinaria” que empieza el próximo 19 de marzo.

Deja tus datos en el stand si quieres entrar en el sorteo de un lote de productos formativos valorado en 250 €. También podrás recoger un ejemplar de las últimas ediciones de las revistas EspeciesPRO, Ateuves y Argos, así como un atractivo póster.

La importancia de la formación continua

El congreso de este año se celebra el 15 de marzo con el tema “Medicina y Cirugía del sistema digestivo y de la nutrición”. Junto al congreso se celebrará la feria Iberzoo-Propet, donde se presentarán novedades clínicas y comerciales del sector. Los socios de ANAVET tienen descuento en la cuota del congreso. También se ofrecen talleres fuera del horario del congreso para ampliar la formación, incluyendo un taller Recover el 13 de marzo que ofrece certificación en Soporte Vital Básico, y un seminario sobre análisis coprológico el 14. Además, se llevará a cabo un Congreso en Especialistas Felinos el mismo día 14.

Nuestra contribución al bienestar animal es necesaria y para ello es imprescindible que nos formemos adecuadamente y nos reciclemos formativamente de manera continua. La misión de ANAVET como asociación es abogar por una formación de calidad para nuestro colectivo que permita ampliar nuestros conocimientos, mejorando nuestra práctica clínica diaria y lograr con ello un reconocimiento a nuestra labor, imprescindible dentro de los centros veterinarios.

Beatriz Navarrete. Presidenta de ANAVET, www.anavet.es

Puedes consultar todo el programa, así como cualquier duda o información adicional sobre inscripciones, contacto, etc., en la web de AMVAC: www.amvac.es/site/vetmadrid.aspx.

Acércate al stand 10B05 y, además de ver todas las obras del catálogo editorial, tendrás el 15 % de descuento en la compra de libros.

v 5 ateuves Nº109 l MARZO 2024 ACTUALIDAD

Nutrición en pacientes geriátricos: claves para un envejecimiento saludable

La nutrición es un pilar fundamental y más aún en animales geriátricos con una patología, debido a que la mayoría de las enfermedades que se presentan en estos animales son crónicas o recidivantes.

Ya desde cachorros tenemos que concienciar sobre la importancia del qué y cuánto come nuestro paciente en cada etapa de la vida, ya que gran parte de las enfermedades vienen dadas por desórdenes nutricionales y los síntomas pueden llegar a aparecer en la tercera edad, por lo que la prevención comienza mucho antes.

A medida que estos animales envejecen, enfrentan una variedad de cambios que requieren consideraciones dietéticas específicas para abordar sus nuevas necesidades.

Ten en cuenta las características de los animales geriátricos que pueden afectar a nivel nutricional:

• Pérdida de masa muscular

• Peor asimilación de nutrientes

• Disminución del apetito

• Alteraciones en la dentadura que dificultan la aprehensión y masticación

• Rechazo a nuevos alimentos

• Obesidad en algunos casos

• Disminución de la motilidad intestinal

• Disminución de la función cognitiva

En casos de enfermedad renal, el manejo nutricional adecuado puede ralentizar significativamente su avance.

La prevención comienza mucho antes de la tercera edad; desde cachorros, concienciar sobre el qué y cuánto come nuestro paciente es esencial para evitar enfermedades derivadas de desórdenes nutricionales.

Manejo nutricional para las principales patologías en geriatría Hablaremos de modo general, aunque para cada paciente -según la patología concreta que padezca y sus características especiales- puede ser necesario modificar las pautas.

Enfermedad renal

En felinos estudios del año 2000 por Elliot et al., reflejan un aumento significativo del tiempo de supervivencia dando dieta renal comercial adecuada por lo que suele ser siempre parte de la prescripción de todos los animales diagnosticados. Tanto perros como gatos necesitan:

• Un aporte de proteína de alta calidad, fácilmente asimilable, pero en moderada cantidad para limitar el exceso de productos urémicos en la sangre

• Reducido nivel de fosfatos.

• Los carbohidratos son esenciales para aportar energía ya que son animales con una baja condición corporal por las pérdidas de proteína por orina y menos apetito.

v 6 ateuves Nº109 l MARO 2024
ALIMENTACIÓN
Eric_Isselee/shutterstock.com

En estadios iniciales de la enfermedad renal, el manejo nutricional adecuado puede ralentizar mucho su avance por lo que es importantísimo concienciar al propietario. Existen dietas muy palatables, tanto en húmedo como en seco. Solo en casos de imposibilidad de dar tales dietas, se recomienda la dieta casera: pescado blanco, azul, pollo, huevo, queso fresco, yogures, pavo, con distintos suplementos.

Diabetes, hipertiroidismo y obesidad

Generalmente sufren una diabetes tipo II por resistencia a la insulina. Suele aparecer en animales con obesidad, así que partimos de cuidadores que dan una dieta inadecuada en cantidad y/o calidad, y probablemente lo han hecho mal desde el principio. Así que dedicaremos mucho tiempo a explicar que si no cambia por completo su pauta no podremos tener controlada la enfermedad y debe ser de por vida.

La dieta para animales diabéticos debe aportar:

• Carbohidratos de absorción lenta

• Alto contenido en fibra por su poder saciante

• Bajo índice glucémico

• Proteínas de alta calidad

Se suele dividir la ración en dos tomas, separadas 12 horas entre cada una de ellas, para una correcta digestión y evitar picos de glucemia elevada (si el animal lo requiere es cuando se administra la insulina. En los gatos muchas veces controlando su dieta en tiempo y cantidad adecuada suelen llegar a dejar el tratamiento con insulina por lo que escoger una dieta específica para animales diabéticos que les guste es fundamental. Los tutores deben ser siempre muy estrictos con el número de tomas y la cantidad recomendada. Es importante evitar los extras y muchas veces el propietario no lo admite. La recomendación para el manejo dietético de la diabetes es similar en hipotiroideos y animales con síndrome de Cushing. En hipertiroideos los niveles de yodo en la dieta además deben ser muy bajos por lo que evitaremos alimentos con alto contenido (carnes rojas, vísceras, piensos y comida húmeda de baja calidad).

En general en animales obesos debemos hacer un control del peso frecuentemente, mínimo mensual, para pautar cambios y ver la evolución. Una vez llegan al peso ideal se suelen

A medida que los animales envejecen se enfrentan a una variedad de cambios que requieren consideraciones dietéticas específicas.

aprovechar las desparasitaciones trimestrales para hacer ese control. La disminución de la actividad física y el cambio del metabolismo en animales gerontes suele hacer que cojan peso muy rápido.

Desde cachorros hasta la tercera edad: la clave está en la prevención nutricional.

Patologías dentales

Estas patologías afectan a la capacidad de aprehender y masticar adecuadamente los alimentos. Las dietas formuladas para la salud dental suelen promover la masticación con croquetas de gran tamaño y una matriz de fibras que ayudan a reducir la placa y el sarro. El uso de preparados con algas (espirulina/Ascophyllum nodosum) suele ser de gran ayuda para combatir la placa bacteriana y el mal olor asociado. Así mismo, concienciar de la importancia del cepillado, uso de pastas enzimáticas etc. de higiene bucal hace que disminuya la aparición de patologías. En casos dónde es necesaria una limpieza con ultrasonidos, usar antes y después estos productos hace espaciar el tiempo entre tratamientos. Esto es especialmente interesante en pacientes que tienen un mayor riesgo anestésico. Cada vez hay productos más eficaces para este fin.

v 7 ateuves Nº109 l MARZO 2024
ALIMENTACIÓN
Pommer_Irina/shutterstock.com

nadisja/shutterstock.com

Se recomienda cada vez más el uso de suplementos con vitaminas C y D, glucosamina, condroitina, mejillón de labios verdes y/ o con ácidos grasos omega-3 para animales geriátricos.

Insuficiencia hepática

Debemos evitar el exceso de grasas, así como dietas altas en proteínas o carbohidratos que sobrecargan la función hepática y dificultan su digestión. Tambien evitaremos dietas con cobre, pero hay que asegurar la ingesta de vitaminas del grupo B, C y E.

En los casos con disminución del apetito conviene alternar la dieta con comida casera para mejorar la palatabilidad. Son animales que pueden presentar emesis por lo que proporcionar el alimento en pequeñas cantidades o remojado puede facilitar su tránsito.

Enfermedades cardiacas

La mayoría de los pacientes geriátricos presenta alguna alteración cardiovascular en estadios incipientes como el B1 donde ya se detecta alguna alteración, pero sin síntomas clínicos. En estos casos se recomendará proporcionar dietas bajas en sodio, y existen suplementos para cardiópatas, por ejemplo, con taurina, adecuados para animales con insuficiencia cardiaca hipertrófica (en muchas dietas grain free los niveles de taurina y B12 son muy bajos). Además, el músculo cardiaco necesita proporcionalmente mucha energía para su correcto funcionamiento y son muchos los animales con enfermedad cardiaca avanzada que presentan desnutrición, incluso con caquexia, que además del tratamiento terapéutico necesitan un buen soporte nutricional para su recuperación y mantenimiento.

Artrosis y alteraciones o desgaste de huesos y cartílagos

Tanto en fases de crecimiento como en edades avanzadas se recomiendan cada vez más proporcionar suplementos con vitamina C y D,

glucosamina, condroitina, membrana de huevo, huevo, mejillón de labios verdes y/ o con ácidos grasos omega-3. Es un buen complemento asociado con mantenimiento de una buena condición corporal y ejercicio moderado. Debemos fijarnos muy bien en la composición y el origen de la materia prima que lo componen ya que no todos son bien asimilados. Su uso es muy interesante por su capacidad antiinflamatoria cuando se da por largos periodos.

Disfunción cognitiva

La disfunción cognitiva es una de las principales preocupaciones de sus cuidadores. Una dieta rica en proteínas de alta calidad, vitaminas, antioxidantes (astaxantinas, vitamina E) y ácidos grasos omega-3, conocidos por sus efectos antiinflamatorios y neuroprotectores, les ayudará. También aportan beneficios sustancias como biotina, magnesio, cinc, selenio y triptófano sobre todo en preparados nutricionales: mejoran sustancialmente la sintomatología y tenemos buenos feedback por parte de los propietarios si son constantes.

El uso de CBD (cannabidiol) cada vez es más usado para combatir las alteraciones cognitivas por sus propiedades calmantes (salvo en animales agresivos, que puede tener el efecto contrario), así como en enfermedades articulares para el manejo del dolor y la inflamación y como coadyuvantes en el tratamiento de la epilepsia ,ya que no presenta efectos secundarios sobre el hígado o el riñón.

Enteropatías/colitis/IBD

Pueden aparecer desde jóvenes o desarrollarse/ diagnosticarse en animales adultos o de avanzada edad. Generalmente hay malabsorción, pérdida de peso, apetito cambiante, inflamación intestinal… Además de una dieta hipoalergénica de fácil digestión, sería recomendable el uso de probióticos de manera crónica, a veces es preferible menos cantidad de la recomendada, pero durante un mayor tiempo para fomentar una adecuada microbiota intestinal o proporcionar dietas que lo lleven incorporado. Una vez más debemos hacer comprender que cualquier cambio que realicen en la dieta puede causar

v 8 ateuves Nº109 l MARO 2024
ALIMENTACIÓN

aumento de la sintomatología. Son muchos los casos en los que vemos que el cuidador ante el rechazo del alimento añade por su cuenta otros alimentos que aumentan la apetencia del animal, pero altera las bacterias que participan en los procesos digestivos aumentando las fermentaciones con el consiguiente impacto en la barrera intestinal. Esta se inflama y reacciona dando de nuevo síntomas.

Amplia oferta de dietas

En general debemos discernir entre una gran variedad de suplementos nutricionales, y dietas existentes en el mercado, basándonos en tres puntos:

1. Su composición.

2. Las necesidades especiales de nuestros pacientes.

3. Nuestra propia experiencia o la de nuestros compañeros.

Cada año aparecen nuevos productos, pero no todos cumplen el objetivo que perseguimos, por lo que debemos estar pendientes de la evolución del animal haciendo un seguimiento exhaustivo de si está comiendo bien, si le dan la cantidad necesaria, si el complemento se lo siguen dando… Tenemos que ser muy claros con la pauta y en pacientes geriátricos o crónicos a veces la pauta “de por vida” no es cumplida por el cuidador bien porque no ve resultados favorables, porque le cuesta la administración o bien porque no se lo puede permitir económicamente. De este modo, tenemos que buscar una alternativa eficaz o eficiente para estos casos.

Los cuidadores cada vez son más exigentes, tienen acceso a más información y debemos argumentar cada parte del tratamiento de su animal de compañía para un adecuado cumplimiento. Respecto a la dieta, es algo que el animal necesita obligatoriamente y está en nuestra mano proponerle la mejor opción. Desde luego cuando logramos los resultados y vemos la mejoría en el animal es de lo más gratificante.

Para terminar, cuando el animal esté afectado por varias enfermedades concomitantes para las pautas nutriciones nos decantaremos por la más relevante: por ejemplo, en un animal

Las claves de la nutrición en geriatría

1. Enfoque preventivo desde el principio

La nutrición es crucial desde temprana edad para prevenir enfermedades en animales geriátricos. Debemos educar a los cuidadores.

2. Adaptación nutricional a la vejez

La dieta debe ajustarse a los cambios físicos y nutricionales en la vejez, considerando pérdida muscular, disminución del apetito y problemas dentales para asegurar un envejecimiento saludable.

3. Manejo específico de enfermedades

Cada patología geriátrica requiere un enfoque nutricional específico, desde enfermedades renales hasta cardíacas, subrayando la relevancia de adaptar la dieta para controlar y manejar estas condiciones.

4. Suplementos y claridad en las pautas

La variedad de suplementos y dietas disponibles demanda discernimiento y adaptación a las necesidades individuales. Es muy importancia dar pautas claras y hacer un seguimiento continuo.

5. Exigencias del cuidador y resultados tangibles

Las demandas crecientes de los cuidadores subrayan la necesidad de explicar detalladamente el tratamiento nutricional, con la satisfacción que proviene de observar mejorías tangibles en la salud del animal.

6. Enfoque personalizado para enfermedades concurrentes

Ante enfermedades múltiples, el enfoque nutricional debe priorizar la condición más relevante, subrayando la necesidad de estrategias personalizadas para optimizar la salud general del paciente geriátrico.

7. Adaptación a la evolución y alternativas eficientes

La evolución constante de productos nutricionales demanda adaptación y formación continua.

con una alteración de las enzimas hepáticas por un tumor operable y que tiene IBD controlado, nos centramos nutricionalmente más en el IBD aunque demos depurativos hepáticos hasta la cirugía y posterior recuperación, pero no damos una dieta hepática, ya que por el simple cambio, aunque sea gradual, puede acentuar el IBD.

En resumen

La nutrición juega un papel clave en la salud de los animales geriátricos, desde la prevención en etapas tempranas hasta el manejo específico de enfermedades en la vejez. Es crucial adaptar la dieta a los cambios físicos y patologías propias de la edad avanzada, priorizando un enfoque nutricional personalizado. La oferta amplia de suplementos requiere discernimiento y claridad en las pautas para asegurar resultados tangibles. La satisfacción del cuidador y la evolución constante en el campo nutricional son elementos esenciales para el bienestar continuo de los animales geriátricos.

Existen dietas muy palatables, tanto en húmedo como en seco, para el manejo nutricional de pacientes mayores con enfermedad renal.

v 9 ateuves Nº109 l MARZO 2024
ALIMENTACIÓN
Jiri_Hera/shutterstock.com

Estrategias para luchar contra los parásitos externos

Un auxiliar de clínica veterinaria debe tener conocimientos técnicos sólidos sobre los parásitos externos y su prevención para contribuir eficazmente al cuidado de los animales.

Redacción Ateuves

Debemos proporcionar información sobre la importancia de la prevención, el reconocimiento de los signos de infestación y la selección de los antiparasitarios adecuados.

En el ámbito de la clínica veterinaria, la lucha contra los parásitos externos es un desafío constante tanto para los propietarios de mascotas como para los profesionales. Los auxiliares pueden desempeñar un papel eficaz en esta lucha, pero es fundamental que cuenten con sólidos conocimientos técnicos sobre los parásitos externos y sus estrategias de prevención. Comprender la biología y el ciclo de vida de los parásitos es esencial para intervenir en los puntos críticos y prevenir su reproducción.

Productos antiparasitarios en evolución

La industria de productos antiparasitarios ha evolucionado significativamente, ofreciendo una amplia gama de opciones como pipetas, collares, champús, comprimidos y aerosoles, cada uno con ingredientes activos específicos. La elección del producto adecuado dependerá de la especie de parásito y las necesidades individuales de la mascota.

Los collares antiparasitarios de liberación prolongada son una opción popular debido a su eficacia a largo plazo. Contienen sustancias activas que se liberan gradualmente para repeler y eliminar parásitos, ofreciendo protección contra pulgas, garrapatas y otros insectos.

También los comprimidos antiparasitarios ofrecen una solución conveniente y eficaz para proteger a perros y gatos contra pulgas y garrapatas. Suelen ser palatables, lo que facilita a los tutores prevenir la parasitación cómodamente, lo que les aporta tranquilidad. Asimismo, las pipetas, con una aplicación directa y localizada, proporcionan gracias su rápida absorción y acción inmediata una protección efectiva y de larga duración contra los parásitos.

Enfoque integral en el hogar

Es importante implementar programas de prevención continua, adaptados al entorno y estilo de vida de la mascota, con seguimiento regular y ajustes según las estaciones y las condiciones locales. Además, la limpieza y desinfección del entorno del animal son fundamentales para complementar el tratamiento antiparasitario. Algunos parásitos pueden transmitir enfermedades graves, por lo que la prevención no solo implica controlar la infestación, sino también reducir el riesgo de enfermedades como la enfermedad de Lyme, ehrlichiosis, bartonelosis, filariosis, dipilidiosis… Los auxiliares tienen un papel crucial en la educación de los responsables de las mascotas. Deben proporcionar información sobre la importancia de la prevención, el reconocimiento de los signos de infestación y ayudar a la selección de productos adecuados. Asimismo, deben mantener un registro detallado de los tratamientos antiparasitarios administrados a cada paciente, incluyendo la fecha, el tipo de producto utilizado y cualquier observación relevante.

Y por supuesto, es imprescindible implementar medidas de higiene y desinfección en las instalaciones de la clínica para prevenir la propagación de enfermedades infecciosas y mantener un ambiente seguro y saludable para las mascotas, sus tutores y el personal.

Conclusión

La lucha contra los parásitos externos en perros y gatos requiere una estrategia integral y actualizada, combinando productos antiparasitarios modernos, programas de prevención continua y educación a los propietarios. Los auxiliares están preparados para enfrentarse a los desafíos cambiantes en esta área crucial del cuidado animal.

v 12 ateuves Nº109 l MARO 2024 CLÍNICA DÍA A DÍA

Habilidades de los auxiliares para asistir en las radiografías diagnósticas

La medicina veterinaria cuenta con múltiples métodos de diagnóstico por imagen. Entre todos estos, las radiografías destacan por su bajo coste en relación con los otros métodos, por ser pruebas no invasivas para el paciente y por la facilidad para tener el equipo y profesional necesarios en un centro veterinario.

La medicina veterinaria cuenta con múltiples métodos de diagnóstico por imagen como la radiología, la ecografía, la tomografía computarizada (TC), la fluoroscopia, las endoscopias y la resonancia magnética (RM). Entre estos métodos, las radiografías destacan por su bajo coste en relación con los otros, por ser pruebas no invasivas para el paciente y por la facilidad para tener el equipo y profesional necesario en un centro veterinario.

Resulta fundamental que los ATV tengan recursos y habilidades en radiología que les permitan desempeñar su función correctamente.

Estas pruebas son herramientas muy usadas en centros veterinarios, ya que no son invasivas y aportan mucha información para el diagnóstico y, en ocasiones, incluso el diagnóstico definitivo. Por otro lado, los auxiliares van ganando cada vez más terreno en el ámbito veterinario y, en muchos casos, son los responsables de realizar ciertas pruebas con autonomía, por ejemplo, la radiografía.

Por ello resulta fundamental que los ATV tengan ciertos recursos y habilidades que les permitan desempeñar su función correctamente.

Veamos algunas de las competencias que deben tener los auxiliares de clínica para realizar una buena radiografía y apoyar en el diagnóstico del veterinario.

Preparar al paciente radiografiado

Deben colocarlo en la posición radiológica requerida para el estudio seleccionado en cada momento. Para ello, es imprescindible que los auxiliares veterinarios conozcan la terminología usada en relación con la posición del animal y tipo de proyección o proyecciones requeridas, por lo que es necesario dejar claros algunos conceptos:

1. Los parámetros de exposición

Los parámetros son algunas de las herramientas que se utilizan para obtener imágenes radiográficas de alta calidad:

• Kilovoltaje: relacionado con el contraste de la imagen.

• Miliamperaje: relacionado con el tiempo de exposición.

El formato digital de los nuevos aparatos de rayos X hace mucho más fácil la tarea de seleccionar estos parámetros, ya que en muchas ocasiones vienen programadas de base según el área seleccionada.

v 14 ateuves Nº109 l MARO 2024 CLÍNICA DÍA A DÍA

2. Las proyecciones señalan la posición del paciente

Determinan la trayectoria del haz de rayos y su terminología se compone de dos nombres:

• El primero hace referencia al lugar por dónde penetra dicho haz de luz.

• El segundo dicta por dónde sale. Por ejemplo, en la proyección ventrodorsal (VD), el haz de rayos incide por la zona ventral del animal y sale por la zona dorsal. El vocabulario más utilizado para determinar las proyecciones es: ventrodorsal (VD), dorsoventral (DV), medial-lateral, proximal-distal, craneal-caudal, plantar-palmar, craneocaudal-caudocraneal, dorsopalmar-palmodorsal y dorsoplantar-plantodorsal.

Al contrario de esta norma, la proyección lateral -LL- (laterolateral izquierda o laterolateral derecha) hace referencia al decúbito del paciente. Por ejemplo, la proyección laterolateral derecha indica que el animal debe estar apoyado sobre su lado derecho.

Las proyecciones más frecuentes en la clínica diaria son la VD, DV y LL.

3. Las posiciones determinan la postura del paciente

Normalmente se indica el lado del animal que apoya sobre la mesa, por ejemplo, una proyección laterolateral derecha indica que el animal debe estar apoyado sobre su lado derecho. Una vez determinada la proyección y la posición que se requiere, se debe colimar la imagen, es decir, ajustar en sentido longitudinal y trasversal la zona donde van a proyectar los rayos y, por tanto, la imagen que se va a obtener. Para ello se utiliza un dispositivo restrictor de haz, que se denomina colimador de apertura variable con luz localizadora, y es actualmente el más empleado.

Cabe destacar que existe un tipo de radiación, que se denomina dispersa o difusa, y supone la aparición de velo fotográfico que reduce, en consecuencia, el contraste de la imagen y calidad de la radiografía. La cantidad de radiación dispersa que llega a la película es mayor al aumentar el tamaño del campo de haz de rayos X, por lo que se debe limitar lo máximo posible.

Especificaciones de las zonas a radiografiar

Con los conceptos básicos un poco más claros, se detallan las principales zonas que se solicitan radiografiar.

Tórax

La zona de proyección del tórax debe tener mayores kilovoltajes y menores miliamperajes para reducir al máximo el tiempo de exposi-

La cantidad de radiación dispersa que llega a la película es mayor al aumentar el tamaño del campo de haz de rayos X: se debe limitar lo máximo posible.

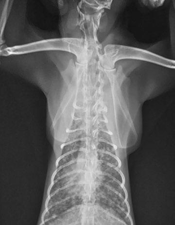
ción por el movimiento de la respiración, ya que, idealmente, se tiene que disparar en el momento de inspiración completa para poder visualizar mejor todas las estructuras. Hay que incluir el tórax en su totalidad, desde la entrada torácica hasta las últimas vértebras lumbares (esto hará que se vea parte del abdomen). El haz de rayos se debe centrar a nivel de la silueta cardiaca.

Las proyecciones de tórax incluyen: ventrodorsal, dorsoventral y lateral (figura 1). Es importante extender bien las extremidades anteriores para evitar superposiciones de estructuras. Por norma general, para un buen estudio radiográfico se solicitan tres proyecciones de tórax (LLD, LLI y VD o DV). De este modo podemos evaluar la silueta cardiaca, el estado del pulmón de forma bilateral y la circulación en su totalidad. En algunas patologías como las masas pulmonares, se puede ver esa imagen con claridad en una proyección lateral y en la contraria no verlo por superposición de estructuras. En pacientes con respiración comprometida se debe realizar la proyección que menor dificultad respiratoria le genere, preferiblemente bajo sedación para evitar el estrés, y si se

v 15 ateuves Nº109 l MARZO 2024 CLÍNICA DÍA A DÍA

puede elegir, una proyección dorsoventral o ventrodorsal (figura 2).

Abdomen

Al contrario que pasa con el tórax, el abdomen debe ser una zona con mayores miliamperajes y mayores kilovoltajes para mayor definición de los órganos. Es necesario incluir el abdomen en su totalidad, desde el diafragma hasta la entrada a la cavidad pélvica. El haz de rayos se debe centrar a nivel de la última costilla para la evaluación de abdomen craneal y a nivel del abdomen medio para la exploración de abdomen caudal.

Asimismo, se debe disparar en fase de espiración para que los órganos abdominales se encuentren lo más separados posibles entre sí y de esta forma evitar superposiciones anatómicas.

Las proyecciones que se piden son la ventrodorsal o lateral ( figura 3 ) en posición laterolateral izquierda. Se deben extender las extremidades anteriores y posteriores en su totalidad. En ocasiones y en especial para ver el tracto gastrointestinal se deben solicitar las dos proyecciones, para poder compararlas.

Cadera

La proyección ideal para la cadera es la ventrodorsal, idealmente con anestesia o sedación para poder hacer una buena extensión y rotación de las extremidades. La pelvis se debe encontrar simétrica, los fémures paralelos y las rótulas alineadas con el canal troclear. Se debe ver la pelvis completa hasta las rodillas. También se puede realizar de forma latero lateral y el haz de rayos se centra sobre la cadera.

Cabeza

Una posición correcta es fundamental para la radiografía de cráneo, ya que la simetría se utiliza para interpretar las placas y una ligera desviación puede llevar a errores en el diagnóstico. En la medida de lo posible se hará con el paciente sedado, puesto que es una zona complicada de contener mecánicamente y se deben evitar rotaciones. El hocico debe quedar paralelo a la superficie de la mesa.

v 16 ateuves Nº109 l MARO 2024 CLÍNICA DÍA A DÍA
Figura 3. Proyección lateral de abdomen. Dilatacióntorsión de estómago. Figura 1. Proyección lateral de tórax. Neumotórax. Figura 2. Proyección ventrodorsal de tórax. Metástasis pulmonar.

El número de proyecciones depende de los signos clínicos del paciente. Para la proyección lateral se coloca al animal en decúbito lateral, paralelo a la superficie de la mesa, y se centra el haz de rayos X sobre los ojos. Con la proyección dorsoventral, el paciente se coloca en decúbito ventral para que el paladar duro quede paralelo a la placa radiográfica. La proyección rostro caudal con boca abierta requiere al paciente en decúbito supino y bajo anestesia general. No se pueden usar las manos para no interferir, por lo que hay que recurrir a objetos como bandas de goma.

Columna vertebral

Como en abdomen, los parámetros serían alto miliamperaje y bajo kilovoltaje. Se puede colocar de forma laterolateral (figura 4) con los miembros anteriores estirados hacia craneal y los posteriores hacia caudal, o en posición ventrodorsal con el paciente en decúbito supino con los corvejones apoyados sobre la mesa. La columna vertebral debe quedar alineada con la mesa.

Extremidades

En el caso de las extremidades, anteriores y posteriores, los parámetros dependen del grosor de la zona. Se debe colimar lo máximo posible la zona y tener en cuenta que la extremidad debe estar en paralelo y pegada a la mesa para evitar artefactos o superposiciones. Las proyecciones que se pueden usar dependen del tipo de articulación que se pretenda incluir en la radiografía:

• La articulación escapulohumeral requiere posiciones mediolaterales con el animal en decúbito lateral y posiciones caudocraneales con el paciente en decúbito supino.

• El radio y el cúbito necesitan posiciones mediolaterales con el paciente en decúbito lateral y craneocaudales con el paciente en decúbito prono. En todas las posiciones se debe poner bien la articulación del codo.

• Para el carpo se debe posicionar al paciente en decúbito lateral y las falanges perpendiculares entre ellas. El encargado de colocar al paciente debe sujetar la articulación a nivel del codo para no interferir. También se

puede realizar una proyección dorsoplantar del carpo donde este se posiciona en decúbito prono.

Al radiografiar una extremidad se debe colimar lo máximo posible la zona y colocarla en paralelo y pegada a la mesa.

• El fémur necesita proyecciones mediolaterales y craneocaudales. Para la primera, el paciente se coloca lateral sobre el lado de la extremidad afectada y se separa la contraria, el rayo se centra sobre la línea media del fémur. Para la segunda, el paciente está en decúbito supino sobre la mesa, se extienden los miembros posteriores y se posiciona el haz de rayos sobre la articulación femororrotuliana.

• La tibia y el peroné se asemejan al fémur en la posición mediolateral, con la diferencia de que el haz se posiciona sobre la línea media del cuerpo de la tibia. Además, se puede realizar la posición caudocraneal con el paciente en decúbito prono con el haz de rayos sobre la tibia.

• El tarso, metatarso y falanges (figura 5) requieren posiciones mediolaterales con los rayos centrados a nivel del astrágalo y

v 17 ateuves Nº109 l MARZO 2024 CLÍNICA DÍA A DÍA
Figura 4. Proyección lateral de columna. Fractura de columna.

en posición dorsoplantar con el animal en decúbito supino y de manera que las falanges estén en contacto con la mesa.

Contención física

Es preciso inmovilizar al paciente mediante sistemas de contención establecidos que permitan su exploración radiológica sin riesgos. Para esta contención física el auxiliar se puede ayudar de su propio cuerpo con la condición de que no se vea en la imagen. Sin embargo, existen muchos objetos que pueden ayudar a inmovilizar al paciente y a hacer un correcto posicionamiento de este. Eso sí, se debe asegurar de que sean objetos radiotransparentes para evitar que se vean en la imagen; por ejemplo, sacos de arena o cuñas de plástico.

En ocasiones, la contención física no es suficiente o no es del todo segura para el paciente y es necesario recurrir a la contención química, que incluye sedación o anestesia para ayudar a disminuir o anular el estrés del animal.

Si se consigue un correcto posicionamiento para emitir un buen diagnóstico y si el equipo lo permite, se puede evitar la exposición a

rayos X del personal, ya que se podrá disparar desde fuera de la sala.

Conclusiones

Una buena radiografía representa un buen diagnóstico, y esto depende de los conocimientos y habilidades de los auxiliares clínicos. Por tanto, deben conocer el funcionamiento del equipo y la correcta posición del paciente para poder obtener la mejor proyección, minimizando el riesgo para el paciente con buenas medidas de sujeción y el riesgo para el personal aplicando las pautas de radioprotección.

Referencias bibliográficas

1. Hernández Molina, C.M. (2020). Manual de posiciones para toma de rayos–x en pacientes caninos en la Clínica de Pequeños Animales. Universidad de Santander UDES. Facultad de Ciencias Exactas Naturales y Agropecuarias Programa de Medicina Veterinaria.

2. Fuxa Soler, S. (2020). La importancia de un buen posicionamiento radiológico. Segunda parte. Ifevet.

Normas básicas de radioprotección

La radiación conlleva riesgos a largo plazo, dado que se pueden producir lesiones irreversibles y originar alteraciones genéticas en el cuerpo del personal expuesto. La radiación máxima que puede recibir una persona se mide en RAD, la absorción de 100 ergios por gramo de material. Lo máximo establecido por la normativa es: 0.1 RAD a la semana, 0.5 RAD al mes y 5 RAD al año. Por lo tanto, es importante que el auxiliar conozca las normas básicas de radioprotección para prevenir riesgos laborales, personales y medioambientales:

• Sujetar al paciente de forma que el haz de rayos no incida sobre el cuerpo del personal o, en caso necesario, usar medidas de protección como guantes plomados.

• Colimar de forma precisa para evitar la radiación difusa.

• Utilizar protecciones plomadas para que absorban los rayos y no lleguen al cuerpo. Se deben utilizar chalecos, guantes, protectores de tiroides y gafas.

• Utilizar exposímetros individuales (aparatos que miden la radiación recibida). Su uso es obligatorio.

• Dentro de la sala, no debe permanecer nadie que no esté implicado en la radiografía o no tenga protección.

• No permitir la exposición de mujeres embarazadas o con sospecha de ello, ni menores de 18 años.

• Hacer una rotación del personal de radiología.

• Control y mantenimiento de los aparatos de protección para evitar su deterioro precoz y detectar anomalías.

v 18 ateuves Nº109 l MARO 2024 CLÍNICA DÍA A DÍA
Figura 5. Proyección dorsopalmar. Fractura de falange.

Identifica los 10 factores que provocan reclamaciones en la clínica

Descubre las razones que hay detrás de las reclamaciones más frecuentes en las clínicas veterinarias. Ser conscientes de las causas nos ayudará a abordarlas adecuadamente y a mejorar la experiencia del cliente y la calidad del servicio ofrecido.

La gestión de quejas de clientes insatisfechos es una tarea crucial en cualquier negocio, pero en el caso de las clínicas veterinarias, donde el servicio está estrechamente ligado a la salud de las mascotas, esta labor se vuelve aún más delicada. En la actualidad, perros y gatos son considerados miembros de la familia, lo que implica que cualquier problema con su atención puede generar preocupación y malestar en sus tutores.

Es importante ser consciente de que, aunque el equipo esté altamente capacitado y trabaje la excelencia, siempre existe la posibilidad de cometer algún error que afecte a la experiencia del cliente. Aceptar esta realidad es el primer paso para manejar las quejas con naturalidad y eficacia.

Causas habituales de las quejas y reclamaciones

Las reclamaciones en clínicas veterinarias pueden surgir por diversas razones:

• Errores en el diagnóstico o tratamiento de las mascotas.

• Falta de comunicación entre el personal y el cliente sobre el procedimiento a seguir.

• Retrasos en la atención o en la entrega de resultados.

• Percepción de falta de empatía o cuidado por parte del personal hacia la mascota o el cliente.

• Problemas con la facturación o el coste de los servicios.

• Incumplimiento de las expectativas del cliente respecto a los resultados del tratamiento.

• Incidentes durante procedimientos médicos o cirugías.

• Fallos en la calidad de los productos suministrados.

• Desacuerdos sobre políticas de la clínica, como horarios de atención o políticas de cancelación.

• Problemas con la limpieza o mantenimiento de las instalaciones.

Tomarlas como oportunidad de mejora

Un estudio reveló que el 25 % de las recomendaciones positivas provienen de clientes cuyas quejas fueron resueltas de manera satisfactoria. Esto demuestra que, si se aborda adecuadamente, una queja puede convertirse en una oportunidad para fortalecer la relación con el cliente y convertirlo en un defensor leal del negocio.

Es fundamental entender que cada queja representa una oportunidad de mejora. En lugar de verlas como problemas, podemos considerarlas como señales que nos indican dónde debemos enfocar nuestros esfuerzos para crecer y mejorar continuamente. Comprender las causas de reclamación en la clínica veterinaria no solo mejora la calidad del servicio ofrecido, sino que también beneficia al personal al promover su desarrollo profesional, aumentar la satisfacción del cliente y fomentar un ambiente de trabajo positivo.

¿Cómo gestionarlas?

Cuando llega un cliente airado resulta muy desagradable. En ocasiones tendrá razón, en otras no. Debemos mantener la calma, escucharle y respetarle en todo momento. Si no está en nuestra

MARKETINGYATENCIÓNALCLIENTE v 22 ateuves Nº109 l MARO 2024 MARKETING Y ATENCIÓN AL CLIENTE
Javier Leach Profesor de economía
ESB Professional/shutterstock.com

Beneficios de conocer las causas de reclamación

Ser conscientes de las causas de reclamación beneficia al personal de diversas formas.

• Mejora del servicio: al identificar las áreas problemáticas, el personal puede trabajar en su mejora, lo que conduce a una prestación de servicios más eficiente y de mayor calidad.

• Desarrollo profesional: comprender las razones detrás de las quejas te da la oportunidad de aprender y crecer profesionalmente al abordar áreas de mejora específicas.

• Incrementa la satisfacción del cliente: al resolver los problemas que generan recla-

maciones, se aumenta la satisfacción del cliente, lo que a su vez fortalece la reputación de la clínica y fomenta la fidelidad.

• Se reducen los conflictos: al conocer las causas de reclamación, el personal puede anticipar posibles problemas y tomar medidas preventivas para evitar conflictos futuros.

• Se fomenta un ambiente de trabajo positivo: al abordar las áreas problemáticas se promueve un ambiente de trabajo más positivo y colaborativo, que contribuye al bienestar general del personal.

mano ofrecerle una solución, amablemente le indicaremos la persona a la cual debe dirigirse. Hablaremos con el compañero o el jefe que se vaya a encargar de la queja y le daremos toda la información que nos haya transmitido. Tratar las quejas de manera efectiva es fundamental para mantener la satisfacción del cliente y preservar la reputación de la clínica. Podemos practicar estas pautas para abordarlas de la mejor forma posible.

Escucha activa

Cuando un cliente presenta una queja, es importante escuchar atentamente lo que tiene que decir. Dale la oportunidad de expresar su preocupación sin interrumpirlo y demuestra empatía hacia su situación.

Agradecer la retroalimentación

Muestra aprecio por el hecho de que el cliente se haya tomado su tiempo para compartir su experiencia contigo. Reconocer su retroalimentación demuestra que valoras su opinión y estás comprometido a resolver el problema.

Comprender el problema

Asegúrate de comprender completamente la naturaleza de la queja del cliente. Haz preguntas claras y específicas para obtener detalles adicionales si es necesario. Esto te ayudará a identificar la causa raíz del problema.

Ofrecer disculpas

Si el cliente ha experimentado un problema o inconveniente, es importante ofrecer una disculpa sincera. Reconocer el error y expresar

remordimiento demuestra que te preocupas por la satisfacción del cliente y estás comprometido a hacerlo bien.

Proporcionar una solución

Una vez que comprendamos el problema, debemos trabajar con el cliente para encontrar una solución que satisfaga sus necesidades. Esto podría implicar ofrecer un reembolso, un reemplazo del producto o servicio, o cualquier otra acción correctiva necesaria.

Seguir el proceso interno

Si es necesario, involucraremos a otros miembros del equipo relevantes para resolver la queja de manera efectiva. Debemos seguir cualquier procedimiento interno establecido para abordar las quejas.

Hacer seguimiento

Después de resolver la queja, es importante hacer un seguimiento para confirmar que está satisfecho con la solución proporcionada. Esto muestra el compromiso de la clínica y puede ayudar a fortalecer la relación con el cliente a largo plazo.

Aprender de la experiencia

Tenemos que tomarnos cada queja como una oportunidad para aprender y mejorar. Hay que aprovechar para identificar las áreas en las que podemos hacer cambios o mejoras para prevenir problemas similares en el futuro. Al seguir estos pasos y abordar las quejas del cliente de manera proactiva y eficiente podemos ayudar a mantener la satisfacción y construir una reputación positiva para la clínica.

MARKETINGYATENCIÓNALCLIENTE v 23 ateuves Nº109 l MARZO 2024 MARKETING Y ATENCIÓN AL CLIENTE

Holter: el poder de la información

La monitorización Holter en perros es un examen diagnóstico no invasivo que permite registrar y evaluar la actividad eléctrica del corazón durante un periodo prolongado y es muy útil para detectar arritmias de forma ambulatoria. Hoy en día se ha convertido en una prueba más en los hospitales.

ATV

Imágenes

Los avances técnicos y la especialización en el sector veterinario hacen que, cada vez más, los auxiliares veterinarios asumamos funciones de mayor responsabilidad técnica.

En cardiología existen varias pruebas que nos sirven para llegar al diagnóstico de las distintas patologías, desde las más básicas como la auscultación hasta técnicas más complejas como el intervencionismo.

Una de las pruebas más habituales en cardiología es el electrocardiograma de superficie. Consiste en registrar la función eléctrica del corazón durante un breve lapso de tiempo. El inconveniente que tiene este tipo de registro es que, debido a su escasa duración, podemos perder mucha información e inducir un diagnóstico erróneo si el evento no se produce en el momento del registro. Existen dos tipos de monitorización electrocardiográfica prolongada:

• Los que hacen un registro continuo (monitor Holter).

• Los que hacen un registro intermitente (monitores de eventos).

En este artículo vamos a hablar del monitor Holter, un dispositivo que hasta hace poco no era accesible para muchos pacientes, pero que hoy en día se ha convertido en una prueba más en los hospitales.

¿Qué es un monitor Holter y en qué pacientes está indicado?

El Holter es un dispositivo de grabación que permite realizar un registro del electrocardiograma de forma ambulatoria durante 24-48 horas. Fue desarrollado por el biofísico americano Norman Holter y comercializado por primera vez en 1962. Su uso en veterinaria no está documentado hasta 1991.

Los primeros monitores eran demasiado voluminosos y pesados y solo podían ser utilizados en perros de razas grandes. Gracias a los

avances técnicos y al desarrollo de grabadoras digitales se ha conseguido reducir mucho su tamaño y peso para que puedan ser utilizados en perros pequeños y gatos (figura 1) Podemos clasificar a los pacientes candidatos a la colocación de Holter en seis tipos principales:

• Pacientes que ya tienen diagnosticada alguna patología cardiaca y en la evolución de la enfermedad presentan una arritmia.

• Pacientes que están en tratamiento con antiarrítmicos en los que hay que evaluar la respuesta al tratamiento.

• Pacientes que presentan síncopes.

• Pacientes que, pese a no estar diagnosticados de una patología cardiaca, se les detecta una arritmia.

• Pacientes que pertenecen a razas predispuestas a ciertas patologías en las que el Holter forma parte del protocolo de diagnóstico precoz (screening racial).

• Pacientes que tienen colocado un marcapasos y tienen que revisarse para evaluar su integridad funcional.

¿Cómo se coloca?

Pasamos a detallar las características del Holter a modo de guía para aquellos ATV que vayan a asumir la tarea de colocación del dispositivo. Existen varias marcas y modelos en el mercado y todos funcionan de manera muy similar.

Antes de la colocación

Tendremos que haber cargado el dispositivo como mínimo durante dos horas para asegurar que no se quede sin batería durante el periodo de registro y perdamos la información recogida. Nos aseguraremos de tener dispuesto el material necesario: alcohol, gasas, esparadrapo de seda, venda cohesiva, acolchado sintético (cellona), peladora y los electrodos (figura 2).

v 24 ateuves Nº109 l MARO 2024 FISIOLOGÍA Y ENFERMEDADES
en Hospital Veterinari de Catalunya cedidas por la autora

Prepararemos un “diario” que se facilitará al propietario, donde deberá anotar las actividades que realice el paciente, como por ejemplo cuándo come, cuándo sale a la calle, si en la salida hace algún ejercicio (correr o jugar), si tiene actividad en casa, cuándo duerme o si durante la prueba ha sufrido algún episodio de síncope o similar (figura 3). Se requerirá que se sea lo más específico y preciso posible en las horas de inicio y final de cada actividad. Esto ayudará a la interpretación de los resultados.

Colocación del dispositivo

En primer lugar, deberán depilarse las zonas donde vamos a colocar los electrodos adhesivos en el tórax para favorecer el contacto entre estos y la piel. La localización será entre el 6º y 8º espacio intercostal de ambos hemitórax. A continuación, se desinfectará la zona con alcohol y se dejará secar para que los electrodos se adhieran correctamente.

En nuestro caso, disponemos de tres conectores con colores diferentes (rojo, blanco y marrón) según la ubicación que les corresponde. El rojo se dispone a la altura de la unión costocondral izquierda; el blanco a nivel del 4º-5º espacio intercostal o del manubrio del esternón en el lado izquierdo; y el marrón en la unión costocondral derecha.

A continuación, uniremos los cables conectores a los electrodos y los aseguraremos con espara-

drapo para evitar desplazamientos no deseados. Trataremos de disponer los cables en forma circular sobre el tórax del paciente. Además, haremos un vendaje para evitar desconexiones empezando por la cellona y dejando los cables bien colocados de modo que al acabar el vendaje el dispositivo de grabación quede en la parte craneal de la columna. A continuación, se completará el vendaje con la venda cohesiva. Es necesario que el vendaje quede bien colocado, pero sin ejercer demasiada presión al apretarlo y que el paciente esté lo más confortable posible. Hay que recordar que precisamos que pase el día de la forma más natural posible. Si se siente incómodo no actuará como es habitual en él. Existen unos trajes de diferentes medidas que colocaremos por encima del vendaje. En ellos hay

v 25 ateuves Nº109 l MARZO 2024 FISIOLOGÍA Y ENFERMEDADES
Figura 1. Dispositivo Holter. Figura 2. Antes de colocar el Holter necesitamos preparar todo el material necesario: alcohol, gasas, esparadrapo de seda, venda cohesiva, acolchado sintético (cellona), peladora y los electrodos. Figura 3. Diario Holter para el propietario en el que apuntará toda la actividad del animal.

un bolsillo en la parte superior (zona de columna) para guardar el dispositivo de grabación y que también ayudarán a que el vendaje se mueva lo mínimo posible (figura 4). Si no se dispone de estos trajes se puede proteger el dispositivo con el propio vendaje. Este se dispondrá de manera que quede lo más asegurado posible, libre de golpes directos y con los cables y el dispositivo bien resguardados y sin peligro de desconexión. El último paso será la conexión del dispositivo de grabación a los cables conectores. Una vez conectado se puede poner en el bolsillo del traje o protegerlo con el vendaje. Este debe ser el último paso ya que una vez conectado se inicia la grabación y no debe desconectarse hasta pasadas 24 horas.

Cuando esté todo conectado, el paciente estará listo para irse a casa. En ese momento entregaremos al propietario el “diario Holter” y le explicaremos la importancia de registrar cada actividad con la máxima precisión posible y la importancia de no manipular o desconectar el dispositivo en ningún momento.

Desconexión del Holter

Para empezar, se les pedirá a los propietarios el “diario Holter” con los datos de actividad del paciente. Les preguntaremos cómo ha pasado el día el paciente y si puede haber habido algún

golpe en el aparato o una posible desconexión. Es importante saber si ha estado cómodo para que haya tenido la actividad habitual. También es vital saber si se ha producido algún colapso, síncope o desmayo.

Debemos involucrar a los propietarios haciéndoles partícipes de la lectura del diario. Hacerles preguntas sobre lo anotado les hará sentirse útiles y partes indispensables en el diagnóstico y control de la patología. Antes de retirar el vendaje desconectaremos el dispositivo y lo dejaremos en un lugar seguro. Durante la retirada de las capas de venda cohesiva y cellona nos aseguraremos de no dañar los cables y, por supuesto, tampoco al animal. Para ello no podemos ser bruscos y debemos no incomodar al paciente sobre todo al despegar los electrodos de la piel. Evitaremos tirones bruscos que produzcan inflamaciones cutáneas y, si es necesario, deberán impregnarse en alcohol para favorecer su retirada. Tras eliminar el vendaje y los electrodos, el paciente ya está listo para irse a casa. Se comunicará entonces a los propietarios que cuando se hayan hecho las lecturas de los registros se contactará con ellos.

El Holter es un dispositivo de grabación que permite realizar un registro del electrocardiograma de forma ambulatoria durante 24-48 horas.

Envío de la grabación y los documentos

Hay diversas plataformas mediante las que enviar los resultados, cada casa tendrá su sistema a seguir. En nuestro caso, adjuntamos en la página indicada, el diario de actividades, un documento en el que constan los datos del paciente y las constantes tomadas en ese momento (temperatura, frecuencia cardiaca y respiratoria, auscultación cardiopulmonar, presión arterial, etc.), su historial clínico, posi-

v 26 ateuves Nº109 l MARO 2024 FISIOLOGÍA Y ENFERMEDADES
Figura 4. Paciente con un traje que se coloca por encima del vendaje y que cuenta con un bolsillo superior que permite guardar el dispositivo de grabación y que ayuda a que el vendaje no se mueva.

bles pruebas complementarias como analíticas, radiografías o ecocardiografías y, finalmente, el tratamiento que sigue en caso de que tomase alguna medicación (figura 5).

Análisis de la grabación

Existe un software específico para cada tipo de grabadora que realiza un primer análisis automático. Para ayudar al etiquetado, los software construyen una serie de representaciones gráficas que permiten visualizar rápidamente el conjunto de los datos en la grabación.

Los más habituales son:

• Tacograma

• Histograma

• Diagrama de Pointcaré

Otros valores que se obtienen en el análisis de la grabación son el número total de latidos, número

Ejemplo de visita en la clínica

Se presenta de urgencias en nuestro hospital Simba, una perra hembra mestiza de 13 años que ha tenido varios episodios sincopales en los últimos días. En la exploración se observa que la frecuencia cardiaca es baja, con una frecuencia respiratoria dentro de lo normal y con presión arterial alta (171 mmHg PAS/98 mmHg PAD).

Se decide hacer una ecocardiografía en la que se observa un bloqueo de tercer grado con ritmo de escape ventricular y con morfología de bloqueo de rama derecha. Se determina que no hay alteraciones estructurales de magnitud que puedan ocasionar esas arritmias y se concluye que la causa más probable de los síncopes son anomalías del ritmo, lo que significa que Simba podría necesitar un marcapasos. Para confirmarlo es necesario hacer otras pruebas diagnósticas que aporten más información. Se plantea hacer un seguimiento con el Holter para saber en qué momento exacto ocurren esos síncopes, con qué frecuencia a lo largo del día y su causa más probable. A través del Holter se detecta que tiene un bloqueo de segundo grado avanzado, con periodos de bloqueo completo de tercer grado (disociación auriculoventricular) y una frecuencia cardiaca global baja. El análisis de variabilidad de las frecuencias cardiacas muestra alteraciones graves y los resultados aconsejan investigar posibles causas infecciosas concomitantes.

total de cada latido, frecuencia cardiaca máxima, mínima y media, y número y duración de pausas. El resultado del estudio lo recibe directamente el veterinario responsable del caso en unos días tras el envío.

Conclusión

Gracias a la colocación del Holter se pueden realizar diagnósticos precoces de diferentes cardiopatías, ajustar tratamientos antiarrítmicos o tomar decisiones como la colocación de un marcapasos. En definitiva, nos puede ayudar a mejorar significativamente la calidad de vida de nuestras mascotas.

Bibliografía

• Vetclinics Technological Pet Care. Centro policlínico veterinario Vetclinics de Benissa. Año: 2018. Número: pag. 1 (¿Qué es la monitorización Holter?).

• Revista oficial AVEPA. Año: 2022. Número: Resumen 42 n.º3. En referencia al estudio de: .I. Oliveira, S.A. Dickson, R.R. Blake, Y. Martinez-Pereira, G.J. Culshaw, Validation of heart rate spot-check protocol to measure circadian variation and heart rate in healthy dogs and dogs with atrial fibrillation, Journal of Veterinary Cardiology, Volume 43, 2022, Pages 41-54, https://doi. org/10.1016/j.jvc.2022.07.002.

• Cardiología clínica en el perro y en el gato. D.M. Porteiro Vázquez, A.J. Santana Gonzalez. Multimédica.

v 27 ateuves Nº109 l MARZO 2024 FISIOLOGÍA Y ENFERMEDADES
Figura 5. Documento con información adicional del paciente.

Acana acompaña a Héroes de 4 Patas en la presentación de su calendario solidario 2024

Un año más, Acana estuvo presente en la presentación del calendario solidario de la asociación Héroes de 4 Patas, entidad que nació en 2015 con el objetivo de buscar un hogar y asegurar el bienestar de los perros que han trabajado en las Fuerzas y Cuerpos de Seguridad del Estado. El evento, celebrado el 17 de enero en la Real Casa de Postas, contó con la presencia del consejero de Medio Ambiente, Agricultura e Interior de la Comunidad de Madrid, Carlos Novillo, así como con diferentes caras conocidas que han colaborado en el calendario, como la modelo Malena Costa o la actriz Inés Sastre, quien tiene un perro adoptado de la asociación.

Pascual y Affinity colaboran con CHEP para reducir su impacto medioambiental

Pascual y Affinity han aunado fuerzas por primera vez para reducir su huella ambiental con el programa de transporte colaborativo AirShared de CHEP, proveedor de soluciones para la cadena de suministro. El objetivo del proyecto es evitar realizar kilómetros en vacío, gracias al uso compartido de un DUO Trailer para el transporte de las mercancías respectivas, disminuyendo así las emisiones de CO2 y reduciendo la huella de carbono de ambas compañías. “El uso de vehículos de altas capacidades y la colaboración entre fabricantes o con clientes son algunas de las claves de nuestra estrategia de reducción de emisiones en el transporte de mercancías a corto y medio plazo”, explica Rafael Martínez, logistic manager del Sur de Europa de Affinity.

Calier y la Asociación Protectora de Animales de Granollers se unen por el bienestar animal

Calier ha firmado un convenio de colaboración con la Asociación Protectora de Animales de Granollers (APAG), asociación sin ánimo de lucro que tiene por objetivo acoger a perros y gatos abandonados en su refugio y buscarles un nuevo hogar donde puedan ser felices. Con este acuerdo, Calier reafirma su compromiso con el bienestar de los animales de compañía, sus tutores y familias. El laboratorio realizará una aportación anual de 2.000 euros en productos a la protectora para que esta pueda disponer de los medicamentos necesarios para atender a los más de 2.100 perros y gatos que acoge anualmente. Actualmente, APAG colabora con ayuntamientos en toda Cataluña, realizando recogidas de animales en más de una docena de municipios.

Elanco lanza el calendario Vetnia 2024

Elanco ha creado el Calendario Vetnia 2024, una pieza para rendir homenaje a los perros de intervención asistida que cumplen una importante función social contribuyendo a mejorar la calidad de vida de muchas personas y sus familias. Los perros de terapia aportan motivación y estímulo en cada sesión en la que participan, mejorando el bienestar de las personas atendidas en entornos terapéuticos, educativos y hospitalarios. Por su parte, los perros de asistencia ayudan a personas con alguna discapacidad física o emocional a desenvolverse y ganar seguridad en su día a día.

Veterindustria y la Dirección General de Derechos Animales, contra el abandono

Veterindustria y la Dirección General de Derechos de los Animales coinciden en la necesidad de acabar con el abandono animal y promover la tenencia responsable, según se constató en la reunión mantenida en la sede del Ministerio de Derechos Sociales, Consumo y Agenda 2030. Santiago de Andrés, director general de Veterindustria, Pablo Hervás, su director técnico, conversaron con José Ramón Becerra, director general de Derechos de los Animales. La patronal ya tiene en marcha un protocolo de actuación con esta Dirección General, además de colaborar en el desarrollo reglamentario de la Ley 7/2023 de protección de los derechos y bienestar de los animales.

ateuves Nº109 l MARZO 2024 v 30 noticias

Grupo Asís adquiere Eumedia

LSWR España comunica la adquisición por parte de Grupo Asís del 100 % de las acciones de Eumedia, sociedad española con sede en Madrid y referente en información en el sector agroalimentario. La adquisición marca un hito significativo para LSWR España, grupo editor de la revista Ateuves, al expandir su presencia en el sector de la agricultura y la alimentación. Esta integración fortalece el compromiso de LSWR España con el concepto One Health, un enfoque integral hacia la salud y el bienestar, a través de las diversas empresas que conforman el grupo: Grupo Asís y VetEvidence, en el sector de la salud animal; la consultora especializada Luzán 5 y Edra Media, en el ámbito de la salud humana y la odontología; y ahora Eumedia, en la salud ambiental.

IVE anima a las clínicas a invertir en la formación de sus ATV

El trabajo de los ATV es fundamental, por lo que cada vez son más los centros veterinarios que cuentan con estos profesionales. Improve Veterinary Education contará, en mayo, con cuatro cursos específicos para ATV acreditados por la International School of Veterinary Postgraduate Studies (ISPVS): Programa de Anestesia, Programa de Urgencias y Cuidados Intensivos, Programa de Fisioterapia y Programa en Cirugía de Pequeños Animales. “El ATV necesita una formación específica para poder dar el mejor servicio a sus pacientes, y que así el negocio prospere. Una titulación reconocida como el VPPCert, o VPPFCert, da lugar a un profesional más valorado, competente y al que se le pueden asignar más responsabilidades”, afirma Enrique Soriano, Head of Business Development del mercado español.

Dejemos Huella cumple 25 años

Dejemos Huella, de Elanco Animal Health, cumple 25 años impactando positivamente en la sociedad ayudando diariamente a que miles de personas con algún tipo de necesidad terapéutica, educativa o social, tengan una mayor calidad de vida y dando soporte a las entidades que desarrollan los programas de terapias y educación asistidas. “El bienestar animal siempre ha formado parte del ADN de Elanco. En Dejemos Huella trabajamos para que nuestra huella sea más profunda”, explica Juan Pascual, de Elanco Animal Health.

ateuves Nº109 l MARZO 2024 MANEJO LIBRE DE ESTRÉS EN LA CLÍNICA VETERINARIA www.edicionesedra.com store@edicionesedra.com +34 910 003 892 CONTENIDO DEL CURSO: 1. DE CASA A LA CLÍNICA 2. RECEPCIÓN Y SALA DE ESPERA 3. CONSULTA 4. HOSPITALIZACIÓN 5. FEROMONOTERAPIA 6. TÉCNICAS DE MANIPULACIÓN 7. AUTOEVALUACIÓN FINAL Y EVALUACIÓN DE CALIDAD Profesores Rosana Álvarez Bueno Germán Quintana Diez CURSO CON EXPERTO DIRIGIDO A ATV Fecha Fecha fin Duración inicio 13 horas 19/03/2024 24/04/2024 Dos modalidades Curso Online PVP 139 € Curso Online + Manual PVP 199 € noticias

Fresh Arquivet, la gama se amplía con nuevos sabores

Arquivet presenta dos nuevos productos Fresh Arquivet: Fresh Free Run (carne fresca de pavo) y Fresh Iberian Pork (carne fresca de cerdo Ibérico), en sacos de 10 kg, 2,5 kg y de 100 g. Es un alimento completo para todo tipo de perros adultos. Incluye un 75 % de carne y pescado fresco y un 25 % de vegetales, frutas y hierbas medicinales. Prensado en frío, no extruido, su procesamiento es mínimo. Cocinado al vapor lentamente. Sin gluten, sin harinas cárnicas, sin colorantes ni aromatizantes artificiales. Es un producto de altísima apetencia y elevada digestibilidad.

Para más información: Arquivet • www.arquivet.com

Complementos Artero Equine Care para el cuidado y bienestar del caballo

Nuevo alimento sostenible para perros con proteína de insectos

Globe Buddy presenta un producto superprémium para perros basado en una fuente de proteínas novedosa y sostenible: los insectos. El objetivo de la marca es inspirar un cambio positivo y ayudar a los propietarios a disfrutar de una vida más respetuosa con el medio ambiente junto a sus mascotas. Globe Buddy Brown es un alimento elaborado a partir de insectos que incluye proteínas de las larvas de la mosca soldado negra, óptima para todo tipo de perros, sobre todo aquellos con problemas de digestión o intolerancia a las carnes tradicionales.

Artero Equine Care ofrece complementos de alta calidad para garantizar una limpieza eficaz del caballo. Incluye una amplia variedad de cepillos, peines y accesorios para la muda del pelo que ofrecen un proceso de limpieza y peinado eficaz para manto, crin y cola. La compañía cuenta también con una familia de máquinas profesionales y cuchillas de última tecnología que agilizan y hacen más cómodo el esquilado del caballo. Artero Equine Care ofrece productos que aseguran el mantenimiento, cuidado y guardado de cuchillas, tijeras y esquiladoras.

Para más información: Artero • https://artero.com

Menforsan Champú con Biotina para caballos

Menforsan presenta este champú de máxima calidad para equino. Contiene biotina o vitamina B7, que fortalece, abrillanta y protege el pelaje. Mejora la calidad de las estructuras de queratina y regenera y refuerza las raíces capilares. Evita los problemas de piel seca y elimina el exceso de grasa del pelaje, consiguiendo un aspecto suave y sedoso de la crin y la cola del caballo. Debido a la suavidad de su fórmula y al pH adaptado a la piel se puede emplear de manera frecuente. Se comercializa en envases de 1 l y 5 l.

Para más información: Laboratorios Bilper Group • info@menforsan.com • www.menforsan.com

Para más información: Globe Buddy www.globebuddy.dog

Arnés anatómico

Waudog Waterproof

El arnés anatómico en forma de H forma parte ahora de Waudog Waterproof y complementa los collares y correas de Collar Company. La serie Waudog Waterproof está fabricada con el material patentado Collartex. Cuenta con una capa interna de refuerzo diseñada para soportar la carga principal y una cubierta de polímero externa con una distintiva textura suave al tacto que proporciona resistencia al deslizamiento. No solo es duradero, sino también fácil de limpiar y mantener. El arnés está disponible en tallas de S a XL y en colores negro, azul, naranja, verde claro y violeta.

Para más información: Collar Company • https://collar.com

ateuves Nº109 l MARZO 2024 v 32 novedadescomerciales

Nugape lanza la marca premium Danna Pet Food

Nugape Pet Food presenta la nueva marca Danna Pet Food, para posicionarse en el segmento de alimentación premium para perros y gatos. El eslogan de Danna Pet Food, “Fieles a lo bueno”, refleja la calidad y beneficios de sus distintas gamas, en coherencia con la fidelidad que caracteriza a los propietarios de las mascotas, que tratan a sus animales de compañía como una parte más de la familia, cuidando al máximo su bienestar. Todas las recetas están elaboradas con ingredientes naturales de primera calidad y procedentes de proveedores nacionales.

Para más información: Nugape Pet Food • www.nugape.com

Fresh Pillows Bites, deliciosos snacks rellenos para gatos

Los felinos son una de las especies más exigentes en cuanto a temas de paladar se refiere. Por esto nacen los Fresh Pillows Bites, snacks crujientes por fuera, bien rellenitos por dentro y con un nivel de palatabilidad extraordinaria. Un delicioso snack con solo 1,5 calorías por bocado y taurina (aminoácido esencial para ellos con beneficios a nivel ocular, muscular y cardiovascular). Libres de colorantes y conservantes, disponibles en dos variedades: pollo-queso y salmón. Fresh Pillow Bites refuerza de forma saludable el vínculo con su tutor y les ayuda a romper su rutina alimenticia. ¡Miauliciosos!

Para más información: Dapac • https://freshpetnutrition.com

Rollo multiusos Renova Pet Care

Renova, fabricante de productos de celulosa, entra de lleno en el sector de las mascotas con su última innovación: el rollo multiusos para la higiene de los animales Renova Pet Care. Este producto supone un nuevo paso en la actual categoría de tisú en el mercado, pues ha sido desarrollado específicamente para la higiene de los animales de compañía. Está especialmente pensado para la limpieza de patas, secado del pelo o cualquier suciedad provocada por los animales. Además, es perfecto para el mantenimiento de los areneros, casetas o jaulas, o el secado de los bebederos y comederos.

Para más información: Renova Pet • www.myrenova.com

Stick5, el juguete interactivo para el bienestar integral de los perros

Rucan comercializa Stick5, un juguete interactivo que aborda cinco áreas clave para el bienestar canino: educación, entretenimiento, salud bucal, relajación y masticación. Este innovador producto promueve el desarrollo individual, la actividad física, la limpieza dental, la calma y la satisfacción de la masticación. Rucan, reconocida por sus juguetes de caucho natural, duraderos, seguros y aromatizados, apuesta por la producción local y sostenible desde Vilassar de Dalt (Barcelona).

Para más información: Rucan • Tel.: 625 208 454 • comercial@rucan.es • www.rucan.es

Versele-Laga lanza su nueva línea de extrusión

Versele-Laga lanza su nueva línea de extrusión a través de la cual se convierte en fabricante de referencia mundial con dos líneas de extrusión para productos vegetales para familias específicas de animales, una para aves y otra para pequeños mamíferos y caballos. Gracias a la nueva línea de extrusión, los métodos de extrusión se han vuelto aún más especializados. Una de las líneas de extrusión está dedicada a la alimentación de aves y la otra a una dieta rica en fibra para especies herbívoras (pequeños mamíferos y caballos).

Para más información: Versele-Laga • www.versele-laga.com

ateuves Nº109 l MARZO 2024 v 33 atvsnc novedadescomerciales

Maltrato con un collar de diamantes

Auxiliar de clínica veterinaria

En los últimos años el número de animales de compañía se ha incrementado, superando los 29 millones de animales en los hogares y, por ende, su humanización ha ido “in crescendo”. Se ha alterado el comportamiento natural de nuestras mascotas, pero la verdadera cuestión es: ¿cómo afecta esta conducta al animal?

Desde los inicios el perro y el humano han evolucionado conjuntamente, porque al contrario que con el simio, se tiene un punto de convergencia en las relaciones sociales, en la estructura familiar y en la necesidad de tener relaciones intra e interespecíficas, es decir, dentro de la misma especie y fuera de la manada. La similitud hace que se pueda confluir, pero siempre teniendo en cuenta que el perro no tiene las mismas necesidades que el humano. Así, poco a poco, han entrado en nuestros hogares y se han convertido en un miembro más de la familia, aunque esto último, muchos propietarios se lo han tomado demasiado al pie de la letra.

La humanización extrema es un maltrato indirecto hacia la especie: una alteración del estilo de vida de esos perros, de sus necesidades.

Todos hemos sido víctimas de esa carita de pena cuando tu perro te mira para subir a la cama o al sofá, no me cabe duda. Y como esta, muchas otras conductas como, por ejemplo, la típica pareja de señores mayores que llevan a su perro en un carrito similar al de un bebé y piensas “pobrecillo” porque no puede jugar, pasear, tocar el suelo, retozarse en el barro y todas esas actitudes típicas de un perro. Pues todo ello es un maltrato indirecto hacia la especie y sí, suena muy fuerte ese término, pero a fin de cuentas es una alteración del estilo de vida de esos perros, de sus necesidades. Esto implica que el animal pueda sufrir consecuencias como, por ejemplo, ansiedad por separación.

Las tiendas de artículos para mascotas no se quedan atrás, pues gozan de un comprador víctima de una sociedad consumista, en la que los propietarios se caracterizan por sentirse bien comprando camas, lazos o cremas, intentando compensar alguna que otra carencia o necesidad no cubierta con cosas materiales que el animal no valora. Otros, al igual que en su vida personal fardan de coche nuevo, también le ofrecen a su mascota lujos como collares caros, spas para perros y otros lujos, siendo esta una manera más de demostrar que se tiene dinero.

Lo que a la gente le cuesta es invertir dinero en aprender a relacionarse con su perro o gato, a tener un vínculo y conocer sus necesidades o leer un libro de etología.

Todo ello ha ido acompañado de un interés económico y las tiendas han visto la oportunidad de lucrarse de esta humanización para que continúe la demanda de esos artículos innecesarios para los animales y que, así, se mantenga el negocio.

Sin embargo, lo que a la gente le cuesta más es invertir dinero en aprender a relacionarse con su perro o su gato, a tener un vínculo y conocer sus necesidades o leer un libro de etología, porque no es algo que se lleven puesto.

v 34 ateuves Nº109 l MARZO 2024
TU OPINIÓN

Turn static files into dynamic content formats.

Create a flipbook
Issuu converts static files into: digital portfolios, online yearbooks, online catalogs, digital photo albums and more. Sign up and create your flipbook.
Ateuves 109 by Grupo Asís - Issuu