




Rewelacyjne odkrycia w dziedzinie medycyny komórkowej –drog¹ do wyeliminowania chorób serca i uk³adu kr¹¿enia.
Jak siê uchroniæ przed zawa³em serca, udarem mózgu, nadciœnieniem têtniczym, cukrzyc¹ i jej powik³aniami, niewydolnoœci¹ serca, arytmi¹ i wieloma innymi problemami uk³adu kr¹¿enia?
Wydane przez
Fundacjê Zdrowia dra Ratha
© 2022 Dr. Rath Health Foundation
Ksi¹¿ka ta, ³¹cznie ze wszystkimi jej czêœciami jest chroniona prawem autorskim. Treœæ niniejszej publikacji, lub jej czêœci, mog¹ byæ wykorzystywane do celów edukacyjnych, np.: w szko³ach, spo³ecznoœciach lokalnych i na wszystkich szczeblach administracji rz¹dowej. Ca³kowite powielanie tej publikacji wymaga pisemnej zgody wydawcy.
Dystrybucja:
Dr. Rath Education Services B.V.
Postbus 656
NL-6400 AR Heerlen
Holandia
Tel.:0031-457-111 222
Fax:0031-457-111 119
E-Mailinfo@rath-eduserv.com
Internet:www.drrathbooks.com
ISBN 978-90-76332-50-5
Drodzy czytelnicy, Najwiêksza „epidemia” na œwiecie spowodowana zosta³a przez zawa³y serca, udary mózgu i inne formy choroby sercowonaczyniowej i poch³onê³a ju¿ miliony ludzkich istnieñ. Dziœ wiemy, ¿e ta „sercowonaczyniowa epidemia” nie jest tak naprawdê chorob¹, lecz skutkiem d³ugotrwa³ego niedoboru witamin i innych niezbêdnych sk³adników od¿ywczych w milionach komórek naszego cia³a. Wiemy równie¿, ¿e mo¿na temu zapobiec. Ksi¹¿ka ta dokumentuje prze³om naukowy, który umo¿liwia zwyciêstwo nad œmierci¹ z powodu chorób serca, a tym samym ratuje ¿ycie milionów ludzi na ca³ym œwiecie.
„Epidemia sercowo-naczyniowa” stanowi jeden z najpowa¿niejszych problemów ekonomicznych w Ameryce i innych krajach. Roczne bezpoœrednie i poœrednie koszty zwi¹zane z t¹ chorob¹ wynosz¹ wiele miliardów dolarów. Ksi¹¿ka ta pokazuje, w jaki sposób mo¿na zaoszczêdziæ wiêkszoœæ tych pieniêdzy i przeznaczyæ na inne wa¿ne cele spo³eczne.
Ta sama „epidemia sercowo-naczyniowa” stanowi równie¿ Ÿród³o zysku dla jednego z najwiêkszych przemys³ów inwestycyjnych na œwiecie – farmaceutycznego „profitu z chorób”. Jej koniec stanowiæ bêdzie w sposób nieunikniony koniec interesów przemys³u farmaceutycznego w takiej formie, w jakiej istniej¹ one dziœ. Dlatego w³aœnie moj¹ ksi¹¿kê uznano za niebezpieczn¹ i umieszczono „na indeksie”. Bior¹c pod uwagê fakt, ¿e przemys³ farmaceutyczny, bêd¹cy najwiêkszym i najbardziej dochodowym przemys³em inwestycyjnym na œwiecie, prowadzi walkê z odkryciami opisanymi w tej ksi¹¿ce, nie dziwi mnie, ¿e nie s³ysza³eœ wczeœniej o tych odkryciach. Przemys³ farmaceutyczny kupuje wp³ywy w mediach, œrodowisku lekarskim i polityce, jest te¿ najwiêkszym sponsorem
obecnej administracji Stanów Zjednoczonych. Oznacza to, ¿e im szybciej zostanie rozpowszechnione przes³anie ksi¹¿ki, tym wczeœniej zakoñczone zostan¹ dzia³ania, których jedynym celem jest czerpanie korzyœci finansowych z nieszczêœcia milionów ludzi.
Radykalne zmiany na ca³ym œwiecie, wynikaj¹ce ostatecznie z tych odkryæ, by³y od pocz¹tku przewidziane i rozumiane przez dwukrotnego laureata Nagrody Nobla – Linusa Paulinga. Nied³ugo przed œmierci¹ powiedzia³ mi: „Twoje odkrycia s¹ tak wa¿ne, poniewa¿ dotycz¹ milionów ludzi i zagra¿aj¹ wielkim ga³êziom przemys³u. Pewnego dnia mog¹ wybuchn¹æ wojny, których jedynym celem bêdzie zahamowanie dostêpu do rozpowszechnienia twoich prze³omowych odkryæ. Wówczas nadejdzie czas próby, kiedy bêdziesz musia³ stawiæ opór!”. W³aœnie z tego powodu zdecydowa³em siê opublikowaæ w dzienniku New York Times i innych wiod¹cych, miêdzynarodowych gazetach informacje demaskuj¹ce interesy ekonomiczne pewnych grup, wykorzystuj¹cych wojnê w Iraku i kryzysy miêdzynarodowe dla swoich celów. Nale¿¹ do nich przede wszystkim przemys³ farmaceutyczny i petrochemiczny, z grup¹ Rockefellera jako g³ównym inwestorem.
Korzyœci zdrowotne p³yn¹ce z rozpowszechnienia odkryæ opisanych w tej ksi¹¿ce s¹ osza³amiaj¹ce i dotycz¹ mieszkañców ca³ego œwiata. Dziêki zastosowaniu wiedzy w polityce zdrowotnej, najwa¿niejsze przyczyny chorób i œmierci na ca³ym œwiecie, przede wszystkim zawa³y serca, udary mózgu i inne choroby cywilizacyjne zostan¹ skutecznie zwalczone. Ksi¹¿ka ta zawiera wskazówki dotycz¹ce sposobu realizacji tego celu. Ponad szeœæ miliardów ludzi dziœ i miliardy w przysz³ych pokoleniach, skorzystaj¹ bezpoœrednio z zakoñczenia „farmaceutycznego profitu z chorób”. Dziœ wspólnie mo¿emy ocaliæ ¿ycie milionów ludzkich istnieñ oraz zaoszczêdziæ na kosztach opieki medycznej, które liczy siê w miliardach dolarów. Ksi¹¿ka ta jest praktycznym przewodnikiem informuj¹cym o tym, co ju¿ teraz mo¿esz zrobiæ – tam gdzie mieszkasz.
„Wyzwolenie dla zdrowia ludzkiego” jest najwiêkszym ruchem wolnoœciowym wszechczasów. Jest on zakrojony na skalê œwiatow¹ i wywiera bezpoœredni wp³yw na zdrowie i ¿ycie szeœciu miliardów
ludzi, którzy dziœ ¿yj¹ na naszej planecie, jak równie¿ na zdrowie i ¿ycie przysz³ych pokoleñ. Ksi¹¿ka ta jest apelem do Ciebie, abyœ wzi¹³ udzia³ w tym wielkim zadaniu – dla swoich dzieci i wnuków.
Jedynym zbli¿onym do tego ruchu, historycznie udokumentowanym zjawiskiem by³o „wyzwolenie z analfabetyzmu” w œredniowiecznej Europie. 500 lat temu wraz z wynalezieniem druku oraz przet³umaczeniem Biblii na jêzyk powszechnie zrozumia³y, miliony ludzi zaczê³y domagaæ siê swojego prawa do umiejêtnoœci czytania i pisania. W³adcy tamtych czasów wiedzieli, ¿e wiedza oznacza w³adzê, a oni nie mieli zamiaru siê ni¹ dzieliæ. Ale miliony ludzi nie pyta³y o ich pozwolenie. Zjednoczyli si³y, pokonali „mroczny okres” œredniowiecza i przygotowali grunt dla epoki Renesansu, a tym samym dla postêpu, jakiego ludzkoœæ jeszcze nie widzia³a – a¿ do dnia dzisiejszego.
Dziœ ludzkoœæ mo¿e oczekiwaæ jeszcze wiêkszych korzyœci, zwi¹zanych z wyzwoleniem spod jarzma „profitu z chorób”– przede wszystkim eliminacji najbardziej powszechnych chorób naszych czasów. Osi¹gniêcie tego celu wymagaæ bêdzie jednak wspólnego wysi³ku. Wszyscy musimy pracowaæ na rzecz tworzenia œwiata, w którym zdrowie, pokój i sprawiedliwoœæ spo³eczna s¹ zasad¹, a nie wyj¹tkiem. Ksi¹¿ka ta przybli¿a nas do tego celu.
Z powa¿aniem
Dr Matthias Rath•Wiek XXI – wiekiem zwyciêstwa nad chorobami serca
•Jakie korzyœci mo¿esz odnieœæ od razu po przeczytaniu tej ksi¹¿ki
•Dziesiêciopunktowy program optymalizacji zdrowia uk³adu kr¹¿enia
•Naturalne komórkowe sk³adniki od¿ywcze dla zachowania zdrowia
•Komórkowe sk³adniki od¿ywcze – biologiczna energia dla milionów komórek
•Medycyna komórkowa – naturalna kontrola nad chorobami uk³adu kr¹¿enia
XVI w. sta³ siê punktem zwrotnym w historii ludzkoœci. Wynalazek druku, przet³umaczenie Biblii na jêzyki narodowe oraz zak³adanie szkó³ umo¿liwi³o milionom ludzi naukê czytania i pisania.
WskaŸnik analfabetyzmu drastycznie spad³, a ciemne œredniowiecze zosta³o zast¹pione wiekiem Oœwiecenia.
Ludzie dostrzegli niszczycielskie konsekwencje swojej niewiedzy i zwi¹zanych z tym zale¿noœci, i dlatego wziêli sprawy w swoje rêce, aby wyrwaæ siê z tej niewoli.
Podobnie dzisiaj, XXI w. staje siê punktem zwrotnym. Tym razem w dziedzinie zdrowia.
Z jednej strony odpowiedzialne za to jest zupe³nie nowe zrozumienie g³ównych przyczyn powstawania chorób na poziomie komórkowym.
Z drugiej strony nowe technologie, które umo¿liwiaj¹ milionom ludzi wykorzystywanie tych nowych informacji bezpoœrednio dla swojego zdrowia.
Dziêki temu ludzkoœæ mo¿e ograniczyæ rozpowszechnione obecnie choroby do minimum i zapewniæ, ¿e choroby te bêd¹ w du¿ej mierze nieznane w przysz³ych pokoleniach.
Opisany w mojej ksi¹¿ce medyczny prze³om i jego udokumentowane wyniki zawar³em w praktycznym dziesiêciopunktowym programie.
1.Zrozum jak dzia³a Twój uk³ad kr¹¿enia. D³ugoœæ naczyñ krwionoœnych: ¿y³, têtnic i naczyñ w³osowatych w Twoim uk³adzie kr¹¿enia wynosi ponad 100.000 kilometrów a ich powierzchnia porównywalna jest z du¿ym stadionem pi³karskim. Jest to najwiêkszy organ w Twoim organizmie. Twoje serce uderza 100 000 razy ka¿dego dnia, wykonuj¹c najwiêkszy wysi³ek spoœród wszystkich organów. Musisz zdaæ sobie sprawê z tego, ¿e zdrowie ca³ego organizmu jest nierozerwalnie zwi¹zane ze zdrowym uk³adem kr¹¿enia a Twój wiek jest odzwierciedleniem stanu Twoich naczyñ krwionoœnych i serca.
2.Wzmocnij œciany swoich naczyñ krwionoœnych. Niestabilnoœæ i uszkodzenia wystêpuj¹ce w œcianach naczyñ krwionoœnych s¹ g³ównymi przyczynami powstawania z³ogów mia¿d¿ycowych, prowadz¹cych do choroby sercowo–naczyniowej. Naturalnym „cementem” stabilizuj¹cym œciany naczyñ krwionoœnych jest witamina C. My, w przeciwieñstwie do zwierz¹t, produkuj¹cych w swoich w¹trobach optymaln¹ iloœæ endogennej witaminy C, zatraciliœmy t¹ zdolnoœæ w procesie ewolucji a nasza dzienna dieta nie zawiera wystarczaj¹cej iloœci tej najwa¿niejszej witaminy. Jakie s¹ tego konsekwencje? Wystarczy spojrzeæ na statystyki œwiatowe – wzrastaj¹ca liczba zachorowañ na arteriosklerozê, zawa³y serce, udary mózgu – to nieuchronny skutek niedoboru witaminy C w diecie! Zwierzêta nie cierpi¹ na choroby serca, poniewa¿ do ochrony naczyñ krwionoœnych produkuj¹ w³asn¹ witaminê C! U ludzi, pozbawionych tej zdolnoœci, w œcianach naczyñ powstaj¹ z³ogi mia¿d¿ycowe
przyczyna zawa³ów i udarów.
Dziesiêciopunktowy program Dr Ratha w optymalizacji zdrowia uk³adu kr¹¿enia.
3.Usuñ w sposób naturalny z³ogi zalegaj¹ce w Twoich arteriach. Cholesterol i cz¹steczki t³uszczu odk³adaj¹ siê wewn¹trz œcian naczyñ krwionoœnych za pomoc¹ biologicznych „przylepców”. Proces ten mo¿e byæ odwracalny i mo¿na mu zapobiec, przez zastosowanie naturalnych substancji „teflonowych”, z których najwa¿niejsze to aminokwasy: lizyna i prolina. Te sk³adniki wraz z witamin¹ C pomagaj¹ usun¹æ w sposób naturalny istniej¹ce z³ogi mia¿d¿ycowe.
4.RozluŸnij œciany swoich naczyñ krwionoœnych. Z³ogi mia¿d¿ycowe i skurcze œcian naczyñ krwionoœnych s¹ g³ównymi przyczynami nadciœnienia têtniczego. Optymalny dzienny suplement magnezu (naturalnego antagonisty wapnia) oraz witaminy C zapobiega spazmom œcian naczyñ krwionoœnych i normalizuje poziom ciœnienia krwi. Dodatkowe korzyœci przynieœæ mo¿e zastosowanie w diecie naturalnego aminokwasu – argininy.
5.Wyreguluj pracê swojego serca. Serce jest silnikiem uk³adu kr¹¿enia, ka¿de jego uderzenie to ogromnie istotna i skoordynowana praca milionów komórek. Tak jak silnik Twojego samochodu, tak te¿ do prawid³owego dzia³ania miliony komórek miêœnia sercowego potrzebuj¹ sta³ego dop³ywu „paliwa”. Na biologiczne „paliwo komórkowe”
sk³adaj¹ siê: karnityna, koenzym Q-10, witaminy grupy B oraz wiele minera³ów i pierwiastków œladowych. Optymalna dzienna dawka tych sk³adników optymalizuje pracê serca jako pompy i wp³ywa na prawid³owe funkcjonowanie elektrycznych komórek serca, odpowiedzialnych za regularny rym pracy serca.
6. Chroñ swoje naczynia krwionoœne przed korozj¹. Biologiczna korozja, czyli utlenianie, niszczy Twój uk³ad kr¹¿enia i przyspiesza proces starzenia. Do najwa¿niejszych naturalnych przeciwutleniaczy zaliczyæ mo¿na: witaminê C, witaminê E, beta-karoten i selen. Optymalne dzienne ich spo¿ycie zapewnia skuteczn¹ ochronê przed biologiczn¹ „korozj¹”.
Nie pal, poniewa¿ sk³adniki dymu z papierosów przyspieszaj¹ ponad normê proces utleniania œcian Twoich naczyñ krwionoœnych!
7. Regularnie uprawiaj æwiczenia fizyczne. Aktywnoœæ fizyczna jest podstaw¹ zdrowia uk³adu kr¹¿enia. Systematyczne uprawianie takich dyscyplin sportu jak: chodzenie, p³ywanie czy jazda na rowerze s¹ idealne dla nas wszystkich, bez wzglêdu na wiek.
8. Stosuj zdrow¹ dietê. Dieta naszych przodków sprzed tysiêcy lat obfitowa³a w pokarm roœlinny zawieraj¹cy: b³onnik i witaminy. Te preferencje dietetyczne ukszta³towa³y dzisiejszy metabolizm naszych organizmów. Dieta bogata w owoce i warzywa, zawieraj¹ca ma³e iloœci t³uszczów i cukrów sprzyja zdrowiu uk³adu kr¹¿enia.
9. ZnajdŸ czas na relaks.
Stres fizyczny i emocjonalny stanowi znany czynnik ryzyka dla uk³adu kr¹¿enia. Zaplanuj czas na relaks, podobnie jak planujesz Twoje terminy zwi¹zane z wykonywanym zawodem. Miej œwiadomoœæ, ¿e do produkcji adrenaliny, hormonu stresu, zu¿ywana jest w Twoim organizmie witamina C. D³ugotrwa³y stres fizyczny lub emocjonalny wyczerpuje zapasy witamin oraz innych sk³adników od¿ywczych w organizmie i wymaga ich uzupe³nienia w diecie.
10.Zacznij od razu.
Mia¿d¿yca nie jest problemem wieku dojrza³ego. Zdaj sobie sprawê z tego, ¿e proces odk³adania siê z³ogów w naczyniach krwionoœnych rozpoczyna siê, jak dowodz¹ badania naukowe, nawet u dzieci, po przekroczeniu dziesiêciu lat. Zacznij ju¿ dzisiaj chroniæ Twój uk³ad kr¹¿enia! Nie zwlekaj – im szybciej wprowadzisz mój „Dziesiêciopunktowy program optymalizacji zdrowia i funkcji uk³adu kr¹¿enia” tym masz wiêksze szanse na d³ugie i zdrowe ¿ycie!
W dziesiêciopunktowym programie uzasadni³em potrzebê dziennego suplementu witamin i innych sk³adników od¿ywczych w celu zachowania zdrowia uk³adu kr¹¿enia. Kieruj¹c siê œcis³ymi, naukowymi kryteriami opracowa³em Program Podstawowy zawieraj¹cy optymalny sk³ad substancji od¿ywczych, który polecam wszystkim: dzieciom, m³odzie¿y i doros³ym. Wykorzysta³em w nim znacz¹ce funkcje: witaminy C i innych naturalnych substancji w metabolizmie uk³adu kr¹¿enia. Wymienione sk³adniki od¿ywcze bior¹ udzia³ w niezliczonych reakcjach biochemicznych komórek organizmu a chroniczny ich niedobór jest g³ówn¹ przyczyn¹ nieprawid³owej przemiany materii komórek i powstawania chorób. Moje badania jasno dowodz¹, ¿e ten Program mo¿e zahamowaæ a nawet cofn¹æ, we wczesnym stadium, rozwój choroby wieñcowej – przyczyny zawa³ów serca.
Szczegó³owe informacje na temat znaczenia komórkowych sk³adników od¿ywczych w optymalnym funkcjonowaniu komórek organizmu znajdziesz w rozdziale 10.
Komórkowe sk³adniki od¿ywcze – zalecenia specjalne. Dla pacjentów z pewnymi zaawansowanymi problemami zdrowotnymi, takimi jak: nadciœnienie têtnicze, cukrzyca, niewydolnoœæ serca i inne, opracowa³em Programy Uzupe³niaj¹ce, zawieraj¹ce specjalny, dodatkowy sk³ad substancji od¿ywczych, których wyselekcjonowane dzia³anie uzupe³nia Program Podstawowy. Te specjalne zalecenia obejmuj¹ niektóre niezbêdne sk³adniki w wiêkszych iloœciach lub uzupe³niaj¹ listê zaleceñ podstawowych.
Podan¹ iloœæ poszczególnych sk³adników od¿ywczych w Programie
Podstawowym podzieli³em na dwie szpalty – pierwsza z nich okreœla minimum dziennego zapotrzebowania dla zdrowej m³odzie¿y i doros³ych, druga zaœ przeznaczona jest dla pacjentów z podwy¿szonym zapotrzebowaniem na komórkowe sk³adniki od¿ywcze.
witaminy
witamina C 600 – 3000 mg
witamina E 130 – 600 IU
beta-karoten 1600 – 8000 IU
witamina B1 5 – 40 mg
witamina B2 5 – 40 mg
witamina B3 45 – 200 mg
witamina B5 40 – 200 mg
witamina B6 10 – 50 mg
witamina B12 20 – 100 mcg
witamina D3 100 – 600 IU
kwas foliowy 90 – 400 mcg
biotyna 60 – 300 mcg
minera³y
wapñ 30 – 150 mg
magnez 40 – 200 mg
potas 20 – 90 mg
fosfor 10 – 60 mg
pierwiastki œladowe
cynk 5 – 30 mg
mangan 1 – 6 mg
miedŸ 300 – 2000 mcg
selen 20 – 100 mcg
chrom 10 – 50 mcg
molibden 4 – 20 mcg
aminokwasy i inne komórkowe sk³adniki od¿ywcze L-prolina 100 – 500 mg
– 500 mg
–
–
–
–
pyknogenol 5 – 30 mg
bioflawonoidy 100 – 450 mg
dodatek witaminy E (beta-, gamma-, deltatokoferol)
dodatek naturalnych karotenoidów (alfa-karoten, luteina, zea- i kryptoxantyna)
mg = milligramy, mcg = mikrogramy
Medycyna Komórkowa uzasadnia znaczenie witamin i innych naturalnych sk³adników od¿ywczych w metabolizmie milionów komórek naszego cia³a. Dziêki niej mo¿na wyjaœniæ znacz¹ce i ró¿norodne sukcesy terapeutyczne, udokumentowane w mojej ksi¹¿ce. Naukowe podstawy medycyny komórkowej zosta³y w skrócie przedstawione na stronach, które w³aœnie czytasz, detale znajdziesz w rozdziale 10.
Zauwa¿, ¿e komórki naszych organizmów wykonuj¹ niezliczon¹ iloœæ ró¿nych funkcji: komórki gruczo³ów wytwarzaj¹ hormony, krwinki bia³e pe³ni¹ funkcje obronne, a komórki miêœnia serca produkuj¹ i przewodz¹ biologiczne impulsy elektryczne odpowiedzialne za bicie serca. Konkretna funkcja ka¿dej komórki jest okreœlona za pomoc¹ „oprogramowania” genetycznego, zapisanego w j¹drze komórkowym.
Pomimo realizacji ró¿nych zadañ, istota zachodz¹cych w komórkach niezliczonych, biochemicznych reakcji jest podobna – ka¿da z nich jest regulowana przez specjalne substancje, zwane biokatalizatorami, decyduj¹ce o rodzaju przemian, jakim ma ulec substancja wyjœciowa.
Wiele z tych niezbêdnych biokatalizatorów: np. okreœlone witaminy, minera³y, pierwiastki œladowe i niektóre aminokwasy musz¹ byæ nieprzerwanie dostarczane w naszej diecie, poniewa¿ nie s¹ produkowane w ludzkim organizmie (najwa¿niejsze z nich znajdziesz w krótkim podsumowaniu na nastêpnej stronie). Brak regularnego dop³ywu i odpowiednich iloœci tych noœników energii jest powodem wadliwego funkcjonowania komórek, organów a w konsekwencji przyczyn¹ powstawania chorób.
W ci¹gu kilku lat kwestia dziennych dawek sk³adników ¿ywieniowych, ustalonych w oparciu o naukowo opracowane zalecenia Medycyny
Komórkowej, stanie siê spraw¹ oczywist¹ dla ka¿dego, tak samo jak jedzenie i picie.
Pojedyncza komórka (schemat)
J¹dro komórki Zespó³ centralny (Nukleus)
Elektrownia komórki (Mitochondrium)
Linia produkcyjna komórki (Retikulum endoplazmatyczne)
Wa¿ne biokatalizatory:
• Witamina C
• Witamina B1
• Witamina B2
• Witamina B3
• Witamina B5
• Witamina B6
Program przemiany metabolicznej ka¿dej komórki jest œciœle zdeterminowany przez informacjê genetyczn¹ zawart¹ w j¹drze komórkowym.
• Witamina B12
• Karnityna
• Koenzym Q-10
• Minera³y
• Pierwiastki œladowe
Komórkowe sk³adniki od¿ywcze wykorzystywane s¹ w ka¿dej komórce jako biokatalizatory i noœniki energii. S¹ one konieczne dla prawid³owego funkcjonowania milionów komórek.
Naturalne sk³adniki od¿ywcze – bioenergia dla milionów komórek
Medycyna komórkowa dokumentuje i wprowadza, oparte o œcis³e kryteria naukowe, podstawy walki z najwiêkszym wrogiem uprzemys³owionych spo³eczeñstw – zgonem z powodu choroby serca. Ten kontekst jest ju¿ dla Ciebie oczywisty, ale pokrótce przypomnê, ¿e serce i uk³ad naczyñ krwionoœnych jest mechanicznie najbardziej aktywnym organem ludzkim i jako taki ma najwiêksze zu¿ycie energii oraz najwiêksze zapotrzebowanie na witaminy i inne biokatalizatory. Ilustracja na stronie obok pokazuje najwa¿niejsze komórki buduj¹ce uk³ad kr¹¿enia.
Komórki œcian naczyñ krwionoœnych: Komórki œródb³onka tworz¹ wewnêtrzn¹ blaszkê wyœcie³aj¹c¹ naczynia krwionoœne, co wiêcej, spe³niaj¹ one wiele funkcji metabolicznych – reguluj¹c na przyk³ad lepkoœæ krwi. Zadaniem komórek miêœni g³adkich œcian naczyñ jest zapewnienie optymalnej stabilnoœci i elastycznoœci.
G³adkie komórki miêœni produkuj¹ kolagen i inne moleku³y wzmacniaj¹ce, zapewniaj¹c optymaln¹ stabilnoœæ i tonus œcian naczyñ krwionoœnych.
Komórki krwi: Miliony cia³ek krwi, kr¹¿¹cych w obiegu krwi nie s¹ niczym innym, jak komórkami. S¹ one odpowiedzialne za transport tlenu, odpornoœæ, wydalanie, gojenie ran i za wiele innych zadañ. Na kolejnych stronach opisa³em, jak niedobór witamin i innych niezbêdnych sk³adników w tych ró¿nych typach komórek jest œciœle powi¹zany z najbardziej rozpowszechnionymi dzisiaj chorobami serca.
Komórki miêœnia sercowego: G³ównym zadaniem komórek miêœnia sercowego jest zagwarantowanie ci¹g³oœci funkcji miêœnia sercowego jako pompy. Dlatego jeden z typów komórek miêœnia sercowego wyspecjalizowany jest w wytwarzaniu i przewodzeniu biologicznej elektrycznoœci, dziêki której bije serce.
Komórki miêœnia sercowego
„Elektryczne” komórki miêœnia sercowego (Bicie serca)
Uk³ad kr¹¿enia zbudowany jest z milionów komórek.
D³ugotrwa³y niedobór witamin i innych niezbêdnych sk³adników w milionach komórek œcian naczyñ krwionoœnych zak³óca ich prawid³owe funkcjonowanie. Najbardziej rozpowszechnion¹ konsekwencj¹ takiego stanu rzeczy jest nadciœnienie têtnicze oraz rozwój z³ogów mia¿d¿ycowych, prowadz¹cych do zawa³ów serca i udarów mózgu.
Nadciœnienie têtnicze
Niedobór witamin w komórkach œcian naczyñ krwionoœnych mo¿e doprowadziæ
do:
• zwiêkszonego napiêcia
œcian naczyñ
• zmniejszenia œrednicy naczyñ
• pogrubienia œcian naczyñ krwionoœnych i nadciœnienia têtniczego
Zawa³y serca i udary mózgu
Niedobór witamin w komórkach œcian naczyñ krwionoœnych mo¿e
doprowadziæ do:
• niestabilnoœci œcian naczyñ
• powstania uszkodzeñ i pêkniêæ
• powstania z³ogów mia¿d¿ycowych, wyst¹pienia zawa³ów serca i udarów mózgu
Medycyna komórkowa dokona³a prze³omu w ustaleniu przyczyn chorób takich jak: niewydolnoœæ serca, czy arytmia. Chroniczny niedobór witamin i innych niezbêdnych
w milionach komórek miêœnia sercowego mo¿e doprowadziæ do nieprawid³owej pracy serca i zak³óceñ jego rytmu.
Arytmia serca
Niedobór witamin w „elektrycznych”
komórkach miêœnia serca mo¿e
doprowadziæ do:
• nieprawid³owego tworzenia przewodzenia impulsów elektrycznych
odpowiedzialnych za bicie serca
• arytmii serca
Naturalne regulatory bicia serca
NiewydolnoϾ serca
Niedobór witamin w komórkach
miêœnia serca mo¿e doprowadziæ do:
• nieprawid³owego pompowania
krwi
• skrócenia oddechu, obrzêków i szybkiego mêczenia siê
Komórkowe sk³adniki od¿ywcze wprofilaktyce i terapii wspomagaj¹cej
•Fakty na temat choroby naczyñ wieñcowych
•Badania kliniczne z wybranymi sk³adnikami od¿ywczymi
•Dodatkowe informacje na temat roli komórkowych sk³adników od¿ywczych w chorobach uk³adu kr¹¿enia
•Dlaczego komórkowe sk³adniki od¿ywcze hamuj¹ mia¿d¿ycê?
•Co drugi mê¿czyzna i kobieta w krajach uprzemys³owionych umiera na skutek nastêpstw mia¿d¿ycowego zwê¿enia têtnic.Do najczêœciej dotkniêtych chorob¹ narz¹dów nale¿¹: serce (co prowadzi do zawa³u serca), koñczyny dolne (mia¿d¿yca naczyñ koñczyn dolnych), mózg (udary). Rozpowszechnienie siê mia¿d¿ycy na skalê epidemii wynika z faktu, i¿ do tej pory przyczyny jej powstawania nie zosta³y wystarczaj¹co zrozumiane.
•Medycyna konwencjonalna ogranicza siê jedynie do objawowego leczenia mia¿d¿ycy, stosuj¹c leki maj¹ce spowolniæ proces chorobowy, takie jak: antagoniœci wapnia, beta-blokery, azotany i inne. W przypadkach znacznego zaawansowania choroby stosuje siê zabiegi chirurgiczne (angioplastyka i wszczepianie bypassów) w celu mechanicznego usprawnienia przep³ywu krwi. W tradycyjnych metodach leczenia pomija siê rzecz najistotniejsz¹ – przyczynê mia¿d¿ycy, czyli niestabilnoœæ œcian naczyñ krwionoœnych.
•Medycyna komórkowa stanowi prze³om w nowoczesnym rozumieniu podstawowych przyczyn choroby niedokrwiennej serca i innych form choroby wieñcowej oraz umo¿liwia ich profilaktykê i leczenie. G³ówn¹ przyczyn¹ choroby wieñcowej jest chroniczny niedobór witamin i innych komórkowych sk³adników od¿ywczych w milionach komórek œcian naczyñ. Skutkiem tego jest niestabilnoœæ œcian naczyniowych, uszkodzenia i pêkniêcia, powstanie z³ogów mia¿d¿ycowych, stwardnienie œcian têtnic i zawê¿enie, a¿ do ca³kowitego zamkniêcia naczynia a w konsekwencji zawa³ serca lub udar mózgu. Uœwiadomienie sobie tego niezaprzeczalnego faktu musi nas prowadziæ do dzia³añ aktywizuj¹cych zdrowy styl ¿ycia i do zmiany nawyków ¿ywieniowych, których podstaw¹ jest stosowanie w diecie
dodatku komórkowych sk³adników od¿ywczych – g³ównego
œrodka zapobiegaj¹cego mia¿d¿ycy oraz wspomagaj¹cego odbudowê uszkodzonych œcian têtnic.
G³ówna przyczyna
Niedobór witamin w milionach komórek œcian naczyñ krwionoœnych
Naturalna profilaktyka i leczenie wspomagaj¹ce
Optymalna dawka spo¿ycia
niezbêdnych sk³adników
od¿ywczych:
– witamina C
– witamina E
– lizyna i prolina
– Niestabilnoœæ
œcian naczyñ
krwionoœnych
– Pêkniêcia
i uszkodzenia
– Z³ogi
mia¿d¿ycowe
Uzupe³nia
Pomaga zapobiegaæ ileczyæ
Pomaga zapobiegaæ
Zablokowanie
têtnic wieñcowych
Zablokowanie
têtnic mózgowych
Zawa³ serca Udar mózgu
Mia¿d¿yca i choroba niedokrwienna serca
Pomaga zapobiegaæ
•Optymalny sk³ad witamin i innych niezbêdnych substancji pokarmowych mo¿e nie tylko zapobiec chorobie sercowo–naczyniowej, ale równie¿ w naturalny sposób naprawiæ szkody ju¿ powsta³e w œcianach naczyñ krwionoœnych. Nasze badania naukowe i kliniczne potwierdzi³y szczególne znaczenie witaminy C, witaminy E, beta-karotenu, lizyny, proliny oraz innych komórkowych sk³adników od¿ywczych w profilaktyce i leczeniu choroby naczyñ wieñcowych.
•Moje zalecenia dla pacjentów, u których zdiagnozowano chorobê wieñcow¹: rozpocznijcie jak najszybciej stosowanie wdziennej diecie dodatku komórkowych substancji od¿ywczych, poinformujcie prowadz¹cego was lekarza o naturalnym leczeniu wspomagaj¹cym oraz nie redukujcie i nie odstawiajcie dawki zaordynowanych leków bez porozumienia zlekarzem! W przypadku stosowania leków rozrzedzaj¹cych krew –uprzedŸcie lekarza o dodatkowym za¿ywaniu naturalnych substancji rozrzedzaj¹cych: witaminy C i E.
•Lepiej zapobiegaæ ni¿ leczyæ. Skutecznoœæ terapii z u¿yciem komórkowych sk³adników od¿ywczych u pacjentów zmia¿d¿yc¹ bazuje na niezaprzeczalnym fakcie, i¿ optymalne funkcjonowanie komórek organizmu a szczególnie komórek miêœnia sercowego i uk³adu kr¹¿enia – ze wzglêdu na wysokie zapotrzebowanie energetyczne, zale¿y od dop³ywu „biologicznego paliwa”. Zastosowanie w praktyce, stworzonych przeze mnie programów od¿ywczych, umo¿liwia skorygowanie, wsposób naturalny, deficytu bioenergii w komórkach serca inaczyñ krwionoœnych oraz jest najlepsz¹ drog¹ do sukcesu wleczeniu i profilaktyce chorobowej.
Ka¿dego roku, na zawa³y serca umieraj¹ miliony ludzi tylko zpowodu braku dostêpu do skutecznej terapii powstrzymuj¹cej lub lecz¹cej chorobê wieñcow¹. Dlatego zdecydowaliœmy siê przeprowadziæ badania kliniczne z udzia³em pacjentów cierpi¹cych na chorobê naczyñ wieñcowych, aby potwierdziæ skutecznoœæ leczniczego dzia³ania dodatku komórkowych substancji od¿ywczych. Gdyby dziêki przetestowanym sk³adnikom uda³o siê zatrzymaæ lub wrêcz cofn¹æ rozwój mia¿d¿ycy naczyñ wieñcowych, walka ze œmierci¹ z powodu chorób serca mog³aby zostaæ wygrana, a cel wyeliminowania chorób serca zosta³by osi¹gniêty.
Aby uzyskaæ jednoznaczn¹ odpowiedŸ, zastosowaliœmy metodê badañ pozwalaj¹c¹ na dokonanie bezpoœrednich pomiarów z³ogów mia¿d¿ycowych w œcianie arterii. W³aœnie udostêpniona zosta³a nowa rewolucyjna technika diagnostyczna, która umo¿liwi³anam zmierzenie stopnia zaawansowania z³ogów w sposób nieinwazyjny: Superszybka Tomografia Komputerowa (Superszybka TK).
Superszybka TK, „mammogram serca”, to nowa technologia diagnostyczna, pozwalaj¹ca na nieinwazyjne badanie w kierunku choroby naczyñ wieñcowych.
Superszybka TK mierzy rozleg³oœæ i gêstoœæ z³ogów wapnia bez u¿ycia igie³ lub znaczników radioaktywnych; komputer automatycznie oblicza ich rozmiar poprzez okreœlenie wyniku w skali CAS(Coronary Artery Scan, ang. obrazowanie têtnic wieñcowych). Im wy¿szy wynik w skali CAS, tym wiêcej od³o¿onego wapnia, co wskazuje na bardziej zaawansowan¹ chorobê wieñcow¹.
W porównaniu z koronarografi¹ i testami wysi³kowymi, Superszybka TK jest najdok³adniejsz¹ dostêpn¹ dziœ technik¹ diagnostyczn¹, wykrywaj¹c¹ chorobê naczyñ wieñcowych ju¿ w jej wczesnych stadiach. To badanie diagnostyczne pozwala na wykrycie z³ogów w naczyniach wieñcowych zanim jeszcze pacjent doœwiadczy bólu wieñcowego lub innych objawów. Ponadto, poniewa¿ Superszybka
Bez optymalnego zaopatrzenia w komórkowe sk³adniki od¿ywcze choroba wieñcowa jest agresywnym procesem, którego wskaŸniki wzrastaj¹ w przeci¹gu roku o po³owê wartoœci pocz¹tkowych. Wykres pokazuje roczny przyrost z³ogów mia¿d¿ycowych u ka¿dego pacjenta przed zastosowaniem terapii witaminowej. Œredni przyrost blaszek mia¿d¿ycowych u pacjentów we wczesnym stadium choroby wieñcowej wyniós³ 4 mm2 w przeci¹gu roku (po lewej). Z³ogi upacjentów w zaawansowanym stadium choroby naczyñ wieñcowych powiêksza³y siê rocznie o 40 mm2 lub wiêcej (po prawej)
Miesiêczny przyrost z³ogów wieñcowych bez zastosowania dodatku komórkowych sk³adników od¿ywczych
mierzy dok³adnie wielkoœæ z³ogów w œcianach naczyñ,jest ona o wiele lepszym wskaŸnikiem ryzyka sercowo-naczyniowego ni¿ pomiary poziomu cholesterolu lub innych czynników ryzyka w krwiobiegu.
Przebadaliœmy 55 pacjentów w ró¿nych stadiach choroby wieñcowej. Prawie po³owa pacjentów bior¹cych udzia³ w naszym badaniu klinicznym cierpia³a na pocz¹tkowe stadium choroby wieñcowej, bez fizycznych symptomów choroby. Zmiany wrozmiarze zwapnieñ têtnic wieñcowych u ka¿dego pacjenta by³y mierzone œrednio w ci¹gu jednego roku przed zastosowaniem dodatku wybranych sk³adników od¿ywczych. W tym przedziale czasowym zaobserwowaliœmy wzrost wskaŸników choroby – z³ogów
Przedstawiony wykres pokazuje zmiany przyrostu z³ogów mia¿d¿ycowych u pacjentów we wczesnym stadium choroby wieñcowej. Bez stosowania terapii z wybranymi komórkowymi sk³adnikami od¿ywczymi zauwa¿alny jest szybki postêp choroby. Po pierwszych szeœciu miesi¹cach terapii witaminowej szybki rozwój z³ogów wieñcowych zosta³ zredukowany i zasadniczo zatrzymany w trakcie kolejnych szeœciu miesiêcy. W rezultacie zapobieg³o to zawa³owi serca.
Przyrost z³ogów mia¿d¿ycowych przed
rozpoczêciem terapii witaminowej
Spowolniony przebieg choroby w przeci¹gu pierwszych szeœciu
miesiêcy stosowania terapii witaminowej
Zatrzymanie procesu zwapnienia
têtnic po 6-12
miesi¹cach stosowania terapii witaminowej
Komórkowe sk³adniki od¿ywcze zapobiegaj¹ zawa³om serca
ju¿ we wczesnym stadium rozwoju choroby wieñcowej
mia¿d¿ycowych œrednio o oko³o 44% u ka¿dego pacjenta. Nasze badania przyczyni³y siê do ujawnienia agresywnego charakteru choroby naczyñ wieñcowych poprzez ukazanie postêpów choroby w wartoœciach wymiernych – wartoœciach liczbowych.
W drugim roku ci sami pacjenci bior¹cy udzia³ w naszym badaniu klinicznym, otrzymali dzienny dodatek do diety komórkowych sk³adników od¿ywczych, w podwy¿szonych dawkach, zalecany przeze mnie w poprzednim rozdziale (strona 31). Po roku stosowania terapii witaminowej, przeprowadziliœmy kontrolne badania, których wynik okaza³ siê rewelacyjny – u wszystkich pacjentów wyraŸnie zmala³o tempo przyrostu z³ogów mia¿d¿ycowych.
Naturalne wyleczenie choroby wieñcowej (powiêkszenie).
Powiêkszone zdjêcia ukazuj¹ z³ogi mia¿d¿ycowe naczyñ
wieñcowych 51 letniego pacjenta przed rozpoczêciem terapii witaminowej i ich zanik po roku stosowania terapii witaminowej.
Te zdjêcia dokumentuj¹ kamieñ milowy w medycynie – ca³kowity naturalny zanik choroby naczyñ wieñcowych. Po roku stosowania naturalnej terapii komórkowych sk³adników od¿ywczych z³ogi ca³kowicie zanik³y, cowskazuje na naturalny proces leczenia œciany naczynia.
przed po
Komórkowe substancje od¿ywcze likwiduj¹ w sposób naturalny zwapnienie arterii
Wyniki te by³y szczególnie zauwa¿alne u pacjentów cierpi¹cych na pocz¹tkowe stadium choroby. Jak pokazuje wykres – zastosowanie optymalnej dawki komórkowych sk³adników od¿ywczychprowadzi do wygaœniêcia procesu chorobowego w przeci¹gu jednego roku. Przez pierwsze 6 miesiêcy komórkowa terapia witaminowa spowalni³a rozwój choroby wieñcowej, przez nastêpne 6 miesiêcy prowadzi³a do naturalnego zatrzymania choroby wieñcowej. Byæ mo¿e zapytasz, dlaczego tak powoli dzia³a zastosowana terapia? Musisz zdaæ sobie sprawê z tego, ¿e rozwójchoroby wieñcowej trwa lata i potrzeba wielu miesiêcy, aby uwidoczni³ siê w arteriach leczniczy efekt zastosowanych naturalnych sk³adników od¿ywczych. Zaawansowanie choroby jest jednoznaczne z wyd³u¿eniem czasu trwania terapii – do osi¹gniêcia pierwszych efektów terapeutycznych a potem do wygaœniêcia choroby. W zwi¹zku z tym kontynuujemy dalsze badania wraz zcoroczn¹ kontrol¹ stanu zdrowia pacjentów.
Czy istniej¹ce ju¿ z³ogi wieñcowe mog¹ zostaæ usuniête w sposób naturalny? OdpowiedŸ brzmi: tak. W indywidualnych przypadkach odnotowaliœmy naturalne cofniêcie siê i kompletny zanik wczesnych z³ogów têtnic wieñcowych mniej wiêcej w ci¹gu jednego roku. Trwaj¹ce badania powiedz¹ nam, jak d³ugo trwa naturalna regresja u pacjentów z zaawansowan¹ chorob¹ wieñcow¹.
Ca³kowity naturalny zanik z³ogów mia¿d¿ycowych przy stosowaniu naszej terapii potwierdza, i¿ ten program witaminowy zawiera niezbêdne sk³adniki, potrzebne do rozpoczêcia naturalnego procesu leczenia œciany têtnicy.
Donios³e znaczenie okreœlonych komórkowych sk³adników od¿ywczych w zapobieganiu chorobie sercowo-naczyniowej zosta³o potwierdzone w licznych badaniach klinicznych.
Dr James Enstrom i jego koledzy z Uniwersytetu Kalifornijskiego w Los Angeles badali efekty spo¿ycia witamin u ponad 11 000 Amerykanów na przestrzeni 10 lat. To wspierane przez rz¹d badanie wykaza³o, ¿e dzienne spo¿ycie co najmniej 300 mg witaminy C w diecie lub w postaci dodatków od¿ywczych, w porównaniu z50 mg zawartych w diecie przeciêtnego Amerykanina, obni¿y³o ryzyko zawa³u serca o 50% u mê¿czyzn i o 40% u kobiet. To samo badanie
wykaza³o, ¿e wiêksze spo¿ycie witaminy C prowadzi do przed³u¿enia ¿ycia, œrednio o szeœæ lat.
3oo mg witaminy C dziennie: Nawet do 50% mniej zawa³ów serca
Przeciêtna dieta: 50 mg witaminy C dziennie
Zwiêkszone ryzyko zawa³ów serca
Witamina C redukuje ryzyko zawa³ów serca o po³owê.
Kanadyjski lekarz dr G. C. Willis wykaza³, i¿ witamina C mo¿e wsposób naturalny przyczyniæ siê do zmniejszenia z³ogów mia¿d¿ycowych w arteriach koñczyn dolnych. Na pocz¹tku swoich badañ zindentyfikowa³ przy pomocy angiografii (zastrzyk radioaktywnej substancji, po którym wykonywane s¹ zdjêcia rentgenowskie) z³ogi mia¿d¿ycowe pacjentów. Nastêpnie podzieli³ ich na dwie grupy – po³owa badanych pacjentów otrzymywa³a 1,5 grama witaminy C dziennie, druga po³owa nie otrzymywa³a dodatkowej witaminy C. Kontrolna analiza, przeprowadzona œrednio po 10-12 miesi¹cach, wykaza³a, ¿e u pacjentów, którzy otrzymywali dodatkow¹ witaminê C z³ogi mia¿d¿ycowe zmniejszy³y siê w 30% przypadków. Dla porównania nie zaobserwowano redukcji z³ogów wgrupie nie otrzymuj¹cej dodatku witaminy C. Z³ogi u tych pacjentów albo pozosta³y takie same, albo zaobserwowano ich przyrost.
To niesamowite, ale wyniki tego wa¿nego badania klinicznego nie by³y rozwijane przez pó³ wieku, 12 milionów ludzi nadal umiera³o rokrocznie na chorobê, której mo¿na zapobiec!
1500 mg witaminy
Zatrzymanie i cofniêcie siê z³ogów u 30% pacjentów
Przeprowadzone badanie angiograficzne pokazuje naturaln¹ regresjê arteriosklerozy w przeci¹gu roku, u 30% uczestników badania.
Jedno z najwiêkszych badañ nad znaczeniem witamin w zapobieganiu chorobie sercowo-naczyniowej zosta³o przeprowadzone jednoczeœnie w wielu europejskich krajach. Dobrze znanym faktem jest, i¿ choroby sercowo-naczyniowe wystêpuj¹ czêœciej wSkandynawii i krajach Europy Pó³nocnej, w porównaniu z krajami œródziemnomorskimi.
W Europie odwrotny stosunek miêdzy spo¿yciem witamin a czêsto tliwoœci¹ zawa³ów serca oraz udarów mózgu zosta³ ju¿ okreœlony. Choroby sercowo-naczyniowe s¹ du¿o bardziej powszechne wkrajach Europy Pó³nocnej, gdzie spo¿ycie witamin jest niskie. Ludzie w krajach œródziemnomorskich ciesz¹ siê diet¹ bogat¹ wwitaminy i w konsekwencji, choroby sercowo-naczyniowe s¹ tam rzadkie.
Choroby serca szerz¹ siêNiskie spo¿ycie witamin
Choroby serca s¹ rzadkoœci¹Wysokie spo¿ycie witamin
Przyczyny geograficznej zale¿noœci wystêpowania choroby sercowo–naczyniowej w Europie.
Profesor K. F. Gey z Uniwersytetu w Bazylei, w Szwajcarii i jego koledzy próbowali odpowiedzieæ na postawione pytanie, wjakim stopniu oczywista „równia pochy³a” zachorowañ na choroby uk³adu kr¹¿enia pomiêdzy pó³noc¹ Europy a po³udniem, zale¿na jest od dodatku witamin. Naukowcy porównali wskaŸnik chorób sercowonaczyniowych w tych krajach z poziomem witaminy C i beta-karotenu we krwi, jak równie¿ cholesterolu. Wyniki ich badañ by³y jednoznaczne:
• Mieszkañcy Europy Pó³nocnej maj¹ najwy¿szy wskaŸnik chorób sercowo-naczyniowych i najni¿szy poziom witamin we krwi
• U populacji Europy Po³udniowej wystêpuje najni¿sze ryzyko sercowo-naczyniowe i najwy¿szy poziom witamin we krwi
• Optymalne spo¿ycie witamin C, E i A mia³o o wiele wiêkszy wp³yw na obni¿enie ryzyka chorób sercowo-naczyniowych ni¿ obni¿enie poziomu cholesterolu.
To badanie ostatecznie dostarcza naukowego wyjaœnienia „Fenomenu francuskiego“ oraz niskiego wskaŸnika zawa³ów serca we Francji, Grecji, i innych krajach œródziemnomorskich. Decyduj¹cym czynnikiem niskiego ryzyka zachorowañ w tych krajach jest optymalne spo¿ycie witamin w zwyczajowych dietach tych regionów. Pewne preferencje dietetyczne, takie jak spo¿ywanie owoców po³udniowych, wina i oliwy z oliwek, które s¹ bogate wbioflawonoidy i witaminê E, wydaj¹ siê byæ szczególnie wa¿ne.
Badania kliniczne nad mikrosk³adnikami od¿ywczymi w chorobach uk³adu kr¹¿enia
Równie¿ dodatek do diety witaminy E i prowitaminy A (beta-karotenu) obni¿a ryzyko choroby sercowo-naczyniowej. Ogromne znaczenie tych witamin dla optymalnego zdrowia uk³adu kr¹¿enia dokumentuj¹ coraz liczniejsze w ostatnich latach badania kliniczne:
Badanie zdrowia pielêgniarek obejmowa³o ponad 87 000 amerykañskich pielêgniarek w przedziale wiekowym 34-59 lat: ¯adna z uczestniczek badania nie wykazywa³a ¿adnych objawów choroby sercowo-naczyniowej na pocz¹tku badania. W1993 r. pierwsze wyniki zosta³y opublikowane w New England Journal of Medicine (Magazynie Medycznym Nowej Anglii). Wykazano, i¿ u uczestniczek badania przyjmuj¹cych ponad 200 jednostek miêdzynarodowych witaminy E dziennie, ryzyko wyst¹pienia zawa³u serca zmniejszy³o siê o 34%, w porównaniu zuczestniczkami otrzymuj¹cymi tylko trzy jednostki miêdzynarodowe, co odpowiada³o œredniemu dziennemu spo¿yciu witaminy E wAmeryce oraz w œrodkowej i pó³nocnej Europie.
Wyniki przedstawionych tu badañ klinicznych mo¿na streœciæ w nastêpuj¹cy sposób:
• Spo¿ywanie witaminy C obni¿a ryzyko choroby sercowonaczyniowej a¿ do 50% – potwierdzone przez 11 000 uczestników badania.
•Spo¿ywanie witaminy E obni¿a ryzyko choroby sercowonaczyniowej o ponad jedn¹ trzeci¹ – potwierdzone przez 87 000 uczestników badania.
•Spo¿ywanie beta-karotenu obni¿a ryzyko choroby sercowo-naczyniowej o 30%.
•¯aden lek farmaceutyczny nie okaza³ siê jak dot¹d skuteczny w obni¿aniu ryzyka chorób serca i uk³adu kr¹¿enia w tak imponuj¹cy sposób, jak te witaminy.
Badanie pracowników s³u¿by zdrowia obejmowa³o ponad 39000 mê¿czyzn w przedziale wiekowym 40-75 lat: Równie¿ w tym przypadku, w pocz¹tkowej fazie badania, ¿aden z uczestników nie wykazywa³ objawów choroby sercowo-naczyniowej, cukrzycy lub podwy¿szonego poziomu cholesterolu we krwi. Badanie wykaza³o, ¿e w przypadku uczestników przyjmuj¹cy 400 jednostek miêdzynarodowych witaminy E dziennie, ryzyko wyst¹pienia zawa³u serca obni¿y³o siê o 40%, w porównaniu zbadanymi, przyjmuj¹cymi tylko szeœæ jednostek miêdzynarodowych witaminy E dziennie. W tym samym badaniu wykazano równie¿,¿e zwiêkszone spo¿ycie beta-karotenu w sposób znacz¹cy – ooko³o 30% zmniejsza ryzyko choroby sercowo-naczyniowej.
Badanie zdrowia lekarzy obejmowa³o ponad 22000 lekarzy
wprzedziale wiekowym 40-84 lat: Uzyskane w miêdzyczasie wyniki, zosta³y opublikowane przez dr Charlesa Hennkensa na Uniwersytecie Harvarda w 1992 r. Wykazano, ¿e dzienna dawka:50 mg beta-karotenu, stosowana u uczestników badania zchorob¹ sercowo–naczyniow¹, redukuje o po³owê ryzyko wyst¹pieniazawa³ów i udarów. Witamina C, E i beta-karoten (prowitamina A)s¹ istotnymi czynnikami naturalnego zdrowia uk³adu kr¹¿enia. Dodatkowe zastosowanie aminokwasów: lizyny i proliny oraz innych naturalnych sk³adników od¿ywczych optymalizuje uk³ad kr¹¿enia i jeszcze bardziej zmniejsza ryzyko zachorowania.
Czym jest mia¿d¿yca?
Ilustracje na tej stronie przedstawiaj¹ przekroje têtnic wieñcowych pacjenta z chorob¹ wieñcow¹. Pozwalaj¹ one na obejrzenie wnêtrza tych naczyñ w powiêkszeniu mikroskopowym. Widoczny ciemny pierœcieñ to oryginalna œciana naczynia krwionoœnego,jak¹ znajdziemy u nowonarodzonego dziecka. Jasnoczerwony obszar wewn¹trz tego pierœcienia wskazuje na z³ogi mia¿d¿ycowe, które rozwija³y siê przez wiele lat.
Ilustracja A pokazuje z³ogi mia¿d¿ycowe w naczyniach wieñcowych, które zmniejszaj¹ przep³yw krwi i pogarszaj¹ proces dostarczania tlenu oraz elementów od¿ywczych do milionów komórek miêœnia sercowego. Tak zazwyczaj wygl¹daj¹ naczynia wieñcowe pacjentów zdusznic¹ bolesn¹.
Ilustracja B pokazuje naczynia wieñcowe pacjenta, który zmar³ na zawa³ serca. Na powierzchni z³ogów mia¿d¿ycowych utworzy³ siê skrzep i ca³kowicie zatamowa³ przep³yw krwi przez tê têtnicê. Zawa³ serca prowadzi do œmierci milionów komórek miêœnia sercowego, a w konsekwencji do nieodwracalnego uszkodzenia miêœnia sercowego lub œmierci pacjenta.
Wa¿ne jest, abyœ zrozumia³, ¿e z³ogi mia¿d¿ycowe pokazane na ilustracji A rozwija³y siê przez wiele lat, w przeciwieñstwie do dodatkowego skrzepu krwi z ilustracji B, który rozwin¹³ siê w ci¹gu minut, a mo¿e sekund. Skuteczn¹ prewencj¹, w przypadku choroby wieñcowej, jest jak najwczeœniejsze zapobieganie powstawania z³ogów mia¿d¿ycowych.
Mia¿d¿yca nie jest chorob¹ wiekuzaawansowanego. Badania przeprowadzone na poleg³ych wwojnach Koreañskiej i Wietnamskiej wykaza³y w 75% przypadków istniej¹ce ju¿ z³ogi mia¿d¿ycowe, pomimo m³odego wieku ¿o³nierzy. Ilustracja poni¿ej pokazuje têtnicê wieñcow¹ 25-letniej ofiary wypadku samochodowego. To przypadkowe odkrycie pokazuje, jak dalece mia¿d¿yca mo¿e siê rozwin¹æ u m³odych ludzi bez jakichkolwiek objawów choroby serca.
G³ówn¹ przyczyn¹ powstawania z³ogów mia¿d¿ycowych jest biologiczne os³abienie œcian têtnic, wywo³ane chronicznym niedoborem witamin. Z³ogi mia¿d¿ycowe s¹ konsekwencj¹ tego chronicznego os³abienia; rozwijaj¹ siê jako naturalny efekt kompensacyjny, wzmacniaj¹cy os³abione œciany naczyñ krwionoœnych.
m³odego cz³owieka.
Wed³ug statystyk Œwiatowej Organizacji Zdrowia, ka¿dego roku ponad 12 milionów ludzi umiera w konsekwencji zawa³ów serca i udarów mózgu. Przy tych pora¿aj¹cych danych zdumiewa jednoczeœnie fakt, ¿e w œwiecie zwierz¹t schorzenia te s¹ praktycznie nieznane. Przytoczony poni¿ej akapit ze s³ynnego podrêcznika medycyny weterynaryjnej, Veterinary Pathology (Patologia weterynaryjna), autorstwa T. C. Jonesa i H. A. Smitha dokumentuje ten stan rzeczy:
„Faktem jest jednak, ¿e u ¿adnego z gatunków zwierz¹t domowych, z bardzo rzadkimi wyj¹tkami, nie rozwija siê choroba mia¿d¿ycowa o znaczeniu klinicznym. Zdarza siê, ¿e patogeneza chorobowa wystêpuje w œwiecie zwierz¹t atym samym mia¿d¿yca nie jest u nich niemo¿liwa. Jednak choroba ta po prostu siê nie pojawia. Odnalezienie przyczyny tego stanu rzeczy bardzo pomog³oby w walce z t¹ chorob¹ u ludzi.”
Te wa¿ne obserwacje zosta³y po raz pierwszy opublikowanewroku 1958. Dzisiaj, ponad cztery dekady póŸniej, zagadka ludzkiej choroby sercowo-naczyniowej zosta³a rozwi¹zana. Rozwi¹zanie to stanowi jeden z najwiêkszych prze³omów w medycynie.
G³ównym powodem, dlaczego zwierzêta nie znaj¹ zawa³ów serca jest fakt produkowania w organizmie w³asnej witaminy C, w iloœci od 1000 mg do 20000 mg dziennie, w przeliczeniu na wagê ludzkiego cia³a. Witamina C jest „cementem” œciany têtnicy, a jej optymalna iloœæ stabilizuje naczynie. Dla porównania my, istoty ludzkie nie mo¿emy sami wyprodukowaæ ani jednej moleku³y witaminy C. Nasi przodkowie stracili tê zdolnoœæ wiele pokoleñ temu, kiedy to zanikn¹³ enzym potrzebny do przetwarzania moleku³ cukru (glukozy) w witaminê C. Ta genetyczna zmiana nie powodowa³a pocz¹tkowo szkodliwych skutków, poniewa¿ dieta naszych przodków obfitowa³a w owoce, warzywa, produkty zbo¿owe i pokrywa³a minimum dziennego zapotrzebowania na witaminy. Dopiero w tym stuleciu zwyczaje ¿ywieniowe i tym samym spo¿ycie witamin w diecie uleg³y znacz¹cej zmianie. Industrializacja rolnictwa, przetwa-
rzanie pokarmu, jego przechowywanie, przygotowywanie (gotowanie itd.) to g³ówne przyczyny drastycznej redukcji witamin w dziennej diecie. Dzisiejsze spo³eczeñstwa przemys³owe cierpi¹ na chroniczny brak naturalnych sk³adników od¿ywczych. Konsekwencje takiego stanu rzeczy streszcza powy¿szy schemat.
W jaki sposób witamina C zapobiega mia¿d¿ycy?
Witamina C przyczynia siê na wiele ró¿nych sposobów do zapobiegania chorobie sercowo-naczyniowej. Jest wa¿nym przeciwutleniaczem, dzia³a tak¿e jako kofaktor w wielu reakcjach biochemicznych zachodz¹cych w organizmie. Jednak jej najwa¿niejsz¹ funkcj¹ w zapobieganiu mia¿d¿ycy i chorobom uk³adu sercowo –naczyniowego jest zdolnoœæ wzmagania produkcji kolagenu, elastyny i innych moleku³ stabilizuj¹cych. Kolagen pe³ni w naszymciele podobn¹ funkcjê jak ¿elbetonowe wsporniki w drapaczach chmur. Miliony tych stabilizuj¹cych moleku³ tworz¹ tkankê ³¹czn¹cia³a, uk³adu kostnego, skóry, jak równie¿ œcian naczyñ krwionoœnych. Wzmo¿ona produkcja kolagenu w œcianach naczyñ oznacza wiêksz¹ stabilnoœæ licz¹cego 96 500 kilometrów „ruroci¹gu“ naszych têtnic, ¿y³ i naczyñ w³osowatych.
Produkcja witaminy C w w¹trobie
Poziom witaminy C worganizmie
Ludzie
Niski
Niski przez:
– brak w³asnej produkcji w organizmie
– gotowanie/konserwacja jedzenia
Zwierzêta
10–20 gramów
Wysoki
Wysoki przez:
– w³asn¹ produkcjê worganizmie
– od¿ywianie bogatymi w witaminy produktami roœlinnymi
Najwa¿niejsz¹ ró¿nic¹ miêdzy metabolizmem istot ludzkich i wiêkszoœci innych ¿yj¹cych gatunków jest drastyczna ró¿nica w iloœci witaminy C w organizmie. Rezerwuar witaminy C u ludzi stanowi czêsto tylko setn¹ czêœæ poziomu witaminy C u zwierz¹t.
Po lewej: Przekrój têtnicy (powiêkszenie). Miliony w³ókienek kolagenowych tworz¹ podstawow¹ strukturê œciany naczynia.
Po prawej: Pojedyncze moleku³y kolagenu w du¿ym powiêkszeniu. Ka¿de z tych w³ókien jest mocniejsze ni¿ ¿elazny drut oporównywalnej œrednicy.
Fakty znane s¹ nauce ju¿ d³ugo
Nauce ju¿ dawno znany jest fakt zale¿noœci miêdzy niedoborem witaminy C i niestabilnoœci¹ tkanek cia³a. Poni¿sza strona pochodzi ze znanego na ca³ym œwiecie podrêcznika biochemii Biochemistry profesora Luberta Stryera z Uniwersytetu Stanforda wKalifornii:
Nieprawid³owa hydroksylacja jest jednym z biochemicznych problemów w szkorbucie
Znaczenie procesu hydroksylacji kolagenu w szkorbucie jest ewidentne. ¯ywego opisu tej choroby dokona³ Jacques Cartier w1536 r., kiedy to dotknê³a ona jego ludzi w trakcie eksploracji rzeki Œw. Wawrzyñca:
„Niektórzy tracili wszystkie si³y i nie mogli ustaæ na w³asnych nogach… inni mieli ca³¹ skórê pokryt¹ fioletowymi plamkami: siêga³y one najpierw ich kostek, potem kolan, ud, ramion i szyi. Ich usta zaczê³y œmierdzieæ, dzi¹s³a tak pogni³y, ¿e zaczê³y odpadaæ a¿ do korzeni zêbów, które prawie wszystkie te¿ wypad³y.”
Sposób zapobiegania szkorbutowi zosta³ trafnie przedstawiony przez Jamesa Linda, szkockiego lekarza, w 1753r: „Doœwiadczenie naprawdê wystarczaj¹co pokazuje, ¿e skoro zielenina lub œwie¿e warzywa oraz dojrza³e owoce najlepiej go lecz¹, s¹ one tak¿e najbardziej skuteczne w jego zapobieganiu.” Lind zaleci³ w³¹czenie soku z cytryny do diety marynarzy. Rada ta zosta³a przyjêta przez marynarkê brytyjsk¹ jakieœ 40 lat póŸniej.
Szkorbut wywo³any jest diet¹ ubog¹ w kwas askorbinowy (witamina C).Naczelne ssaki oraz œwinki morskie utraci³y zdolnoœæ syntetyzowania kwasu askorbinowego, i musz¹ otrzymywaæ go w diecie. Kwas askorbinowy, skuteczny czynnik redukcyjny, utrzymuje enzym: hydroksylazê prolylow¹ w postaci aktywnej, najprawdopodobniej przez niedopuszczenie do utlenienia atomu ¿elaza. Kolagen zsyntetyzowany pod nieobecnoœæ kwasu askorbinowego nie jest wystarczaj¹co hydroksylowany i dlatego ma ni¿sz¹ temperaturê topnienia. Anormalny kolagen nie mo¿e prawid³owo tworzyæ w³ókien, co w konsekwencji powoduje zmiany skórne i zmiany gêstoœci w³ókien – mikrouszkodzenia naczyñ krwionoœnych, które s¹ tak widoczne w szkorbucie.
Z Biochemii (Biochemistry), Lubert Stryer .
Œcis³y zwi¹zek pomiêdzy witamin¹ C, zawa³em serca, udarem mózgu i szkorbutem pokazuje rycina przedstawiona na nastêpnej stronie.
Kolumna lewa A: Optymalne spo¿ycie witaminy C prowadzi do optymalnej produkcji i funkcjonowania moleku³ kolagenowych. Stabilna œciana naczynia krwionoœnego nie pozwala na rozwój z³ogów mia¿d¿ycowych. Optymalna produkcja i wykorzystanie witaminy C chroni zwierzêta przed mia¿d¿yc¹ i zawa³em serca.
Kolumna prawa C: Prawa kolumna przedstawia mechanizm powstawania szkorbutu. Ca³kowite wyczerpanie rezerw witaminy C w organizmie, jak to mia³o miejsce u marynarzy we wczeœniejszych stuleciach, prowadzi do stopniowego uszkodzenia tkanki ³¹cznej, w tym tkanki œcian naczyñ krwionoœnych. Chorzy na szkorbut umieraj¹ w przeci¹gu paru miesiêcy z powodu wewnêtrznych krwotoków.
Kolumna œrodkowa B: mia¿d¿yca i choroba sercowo–naczyniowa jest stanem poœrednim, miedzy dwoma opisanymi skrajnoœciami. Nasza przeciêtna dieta zawiera wystarczaj¹c¹ iloœæ witaminy C, aby zapobiec pe³nemu rozwojowi szkorbutu, ale niewystarczaj¹c¹, aby zagwarantowaæ stabilnoœæ œcian naczyñ. W rezultacie wewn¹trz œcian naczyñ powstaj¹ miliony maleñkich pêkniêæ iuszkodzeñ. Organizm uruchamia naturalne mechanizmy naprawcze – w uszkodzon¹ œcianê natychmiastowo wnikaj¹ t³uszcze ibia³ka krwi. Jednak przy chronicznym niskim spo¿yciu witamin, ten proces naprawczy trwa przez dziesiêciolecia i w ten sposób rozwijaj¹ siê z³ogi mia¿d¿ycowe. Mia¿d¿yca nie jest wiêc niczyminnym ni¿ naturaln¹ prób¹ „podparcia” niestabilnych œcian naczyñ,os³abionych na skutek niedoboru witamin. Z³ogi w têtnicach sercowych doprowadzaj¹ w koñcu do zawa³u serca; z³ogi w têtnicach mózgowych – do udaru mózgu.
Moleku³y kolagenu
spo¿ycie witaminy C
niedobór witaminy C
Wyczerpanie rezerw witaminy C (szkorbut)
Przekrój têtnicy
Konsekwencje dla zdrowia
Zdrowe naczynia
Z³ogi mia¿d¿ycowe (p³ytki)
Têtnice sercowe: zawa³ serca
Szkorbut: Œmieræ spowodowana ciê¿kim ubytkiem krwi na skutek nieszczelnoœci naczyñ
Têtnice mózgu: udary
Zwi¹zek pomiêdzy chorob¹ sercowo-naczyniow¹, niedoborem witaminy C i szkorbutem jest tak wa¿ny dla naszego zdrowia, ¿erysunek ten powinien staæ siê wkrótce nieodzown¹ czêœci¹ edukacji zdrowotnej w szko³ach na ca³ym œwiecie.
Aby opatentowaæ metodê powoduj¹c¹ naturalne cofniêcie siê choroby sercowo–naczyniowej, musieliœmy przed³o¿yæ dowody na to, ¿e obni¿one spo¿ycie witaminy C w codziennej diecie jest bezpoœredni¹ przyczyn¹ mia¿d¿ycy i wylewów. Zdawaliœmy sobie sprawê z tego, ¿e uzyskane rezultaty bêd¹ mia³y i maj¹ prze³omowe znaczenie dla milionów ludzi. Eksperyment przeprowadziliœmy na œwinkach morskich, które s¹ wyj¹tkiem w œwiecie zwierz¹t, poniewa¿ dziel¹ z ludŸmi brak zdolnoœci do produkowania w³asnej witaminy C. Dwie grupy œwinek morskich otrzymywa³y przez 5tygodni dok³adnie tak¹ sam¹ dzienn¹ iloœæ cholesterolu oraz innych t³uszczów, protein, cukrów, soli i wszystkich innych sk³adników wswojej diecie z jednym wyj¹tkiem – witaminy C. Grupa B otrzymywa³a 60 mg witaminy C dziennie w diecie, wprzeliczeniu na ciê¿ar cia³a ludzkiego. Ta dawka witaminy C odpowiada oficjalnej dziennej normie w wiêkszoœci krajów. Natomiast Grupa A otrzymywa³a 5 000 mg witaminy C dziennie, wprzeliczeniu na ciê¿ar ludzkiego cia³a.
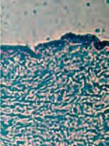
Zamieszczone poni¿ej zdjêcia dokumentuj¹ zmiany w œcianach naczyñ u tych dwóch grup po zaledwie paru tygodniach. Dwa pierwsze z nich pokazuj¹ widoczne go³ym okiem ró¿nice w aortach obu grup. U zwierz¹t z niedoborem witaminy C (Grupa B) rozwinê³y siê z³ogi mia¿d¿ycowe (bia³e obszary), zw³aszcza ws¹siedztwie serca (prawa czêœæ ilustracji). Têtnice zwierz¹t z Grupy A – otrzymuj¹cych optymalne dawki witaminy C pozosta³y zdrowe. Porównuj¹c przedstawione zdjêcia z zastosowan¹ diet¹ nasuwa siê wniosek, ¿e powsta³e z³ogi mia¿d¿ycowe nie s¹ skutkiem diety bogatej w t³uszcze, ale odpowiedzi¹ na niestabilnoœæ œcian arterii – przyczyny nadmiernej produkcji w w¹trobie moleku³ naprawczych: cholesterolu, lipoprotein i in. Zdjêcia poni¿ej pokazuj¹ te same œciany naczyñ w badaniu mikroskopowym. Przekroje naczyñ zwierz¹t z wysokim spo¿yciem witaminy C (zdjêcie 1) pokazuj¹ nienaruszon¹ barierê komórkow¹ pomiêdzy œwiat³em i œcian¹ naczynia. Niemal równoleg³e u³o¿enie moleku³ kolagenowych wœcianie naczynia umo¿liwia dostrze¿enie tej stabilnoœci. Natomiast naczynia zwierz¹t z niedoborem witaminy C (zdjêcie 2) utraci³y ochronê (wadliwe u³o¿enie komórek granicznych) i stabilnoœæ (fragmentacja struktury kolagenu) swoich naczyñ. Dla porównania
za³¹czono zdjêcie naczyñ wieñcowych pacjenta z chorob¹ wieñcow¹ serca. (zdjêcie 3).
Dieta bogata w witaminê C
Dieta uboga wwitaminê C
G³ówne têtnice (aorty) œwinek morskich otrzymuj¹cych po¿ywienie bogate w witaminê C (A) i ubogie w witaminê C (B). Bia³e obszary na dolnej ilustracji (strza³ki) to z³ogi mia¿d¿ycowe. Z³ogi te nie s¹ wynikiem wysokot³uszczowej diety, ale stanowi¹ odpowiedŸ organizmu na os³abianie struktury œciany naczynia d³ugotrwa³ym niedoborem witamin (powiêkszenie poni¿ej).
Przekrój trzech ró¿nych œcian naczyñ w powiêkszeniu
mikroskopowym:
1.Œwinka morska otrzymuj¹ca po¿ywienie bogate w witaminê C
2.Œwinka morska otrzymuj¹ca po¿ywienie ubogie w witaminê C
3.Dla porównania: Naczynie wieñcowe pacjenta, który zmar³ na zawa³ serca. Zauwa¿ podobieñstwo pomiêdzy œcianami naczyñ na ilustracjach B i C.
Uwaga: Eksperymenty na zwierzêtach powinno siê w zasadzie ograniczyæ do ab solutnego minimum. S¹ one uzasadnione tylko wtedy, gdy dziêki zdobytej przez nie wiedzy mo¿na ratowaæ ludzkie ¿ycie. Tak by³o w przypadku opisanego eksperymentu, który przyniós³ milionom ludzi dowód na znaczenie witaminy C w zapobieganiu zawa³om serca.
Ostateczny dowód na zwi¹zek witaminy C z chorobami sercowonaczyniowymi zosta³ opublikowany przez grupê badawcz¹ zUniwersytetu Pó³nocnej Karoliny, Chapel Hill, na ³amach Proceedings of the National Academy of Sciences (Doniesienia Narodowej Akademii Nauk), na pocz¹tku roku 2000. Badacze potwierdzili moje odkrycie w sposób przekonywuj¹cy, szeœæ lat po otrzymaniu przeze mnie jednego z pierwszych na œwiecie patentów w dziedzinie naturalnego leczenia choroby sercowo-naczyniowej.
Na podstawie przeprowadzonych badañ têtnic zdrowych myszy naukowcy nie stwierdzili rozwoju mia¿d¿ycy. Nic zaskakuj¹cego, poniewa¿ zwierzêta te normalnie produkuj¹ du¿e iloœci witaminy C i choroba sercowo-naczyniowa jest u zdrowych myszy nieznana. Nastêpnym krokiem by³o, u niektórych badanych zwierz¹t, eksperymentalne wy³¹czenie genu, odpowiedzialnego za dzia³anie enzymu GLO (gulono-lactone-oxidase). Enzym ten katalizuje biochemiczne reakcje przetwarzania glukozy w witaminê C. W konsekwencji zmutowane osobniki nie by³y w stanie d³u¿ej produkowaæ witaminy C w swoich organizmach. Eksperymentem tym badacze dok³adnie powielili sytuacjê ludzi: brakuje nam tego samego genu GLO, w zwi¹zku z czym nie jesteœmy wstanie produkowaæ witaminy C w naszych w¹trobach.
Decyduj¹ce pytanie brzmia³o: co sta³oby siê z tymi zmutowanymi myszami, gdyby oprócz braku endogennej produkcji witaminy C w swoich organizmach otrzymywa³y zbyt ma³o witaminy C w swojej diecie? Czy w œcianach ich naczyñ pojawi³yby siê uszkodzenia i pêkniêcia? Czy poziom ich cholesterolu wzrós³by w wyniku wysi³ku, jaki ich organizm podj¹³by, aby naprawiæ tê uszkodzon¹ strukturê œcian naczyñ?
OdpowiedŸ na te pytania brzmi „tak“. Struktura tkanki ³¹cznej (kolagen i elastyna) œcian naczyñ u myszy nie produkuj¹cych witaminy C zosta³a os³abiona. Przekrój pod mikroskopem uderzaj¹co przypomina nasze odkrycia u œwinki morskiej na poprzednich stronach. Ponadto, myszy te mia³y znacz¹co wy¿szy poziom cholesterolu we krwi. Eksperyment ten nie tylko radykalnie potwierdzi³ moje odkrycia, ale równie¿ po³o¿y³ kres wszelkim spekulacjom, co do tego, czy cholesterol jest przyczyn¹ czy skutkiem choroby sercowo-naczyniowej.
Eksperyment, w którym tylko jeden czynnik – produkcja witaminy C – zosta³ zmodyfikowany genetycznie potwierdzi³, ¿e:
• Niedobór witaminy C jest g³ówn¹ przyczyn¹ chorób sercowonaczyniowych!
• Wysoki poziom cholesterolu nie jest przyczyn¹, lecz skutkiem chorób serca!
• Obni¿anie poziomu cholesterolu – bez jednoczesnego usuniêcia zwi¹zanego z nim niedoboru witaminy C – powinno byæ uwa¿ane za b³¹d w sztuce medycznej!
Wnêtrze œcian naczyñ myszy pod mikroskopem:
A. Œciana naczynia zdrowych myszy.
B. Œciana naczynia myszy niezdolnych, tak samo jak ludzie, do produkowania witaminy C i otrzymuj¹cych dietê ubog¹ w witaminê C.
Zauwa¿ podobieñstwo do ilustracji z poprzednich stron!
Przedstawione eksperymenty potwierdzaj¹, ¿e przy definiowaniu choroby sercowo–naczyniowej, mamy do czynienia z chronicznym niedoborem witamin. To nowe rozumienie zosta³o streszczone na nastêpnej stronie:
1. Uszkodzenia: G³ówn¹ przyczyn¹ choroby sercowo-naczyniowej jest niestabilnoœæ i dysfunkcja œciany naczynia krwionoœnego, spowodowana chronicznym brakiem witamin. Prowadzi to do powstania milionów ma³ych uszkodzeñ ipêkniêæ w œcianie naczynia, zw³aszcza w têtnicach wieñcowych. Naczynia wieñcowe serca s¹ najbardziej poddane mechanicznemu obci¹¿eniu na skutek pracy serca. W wyniku naprzemiennych skurczów i rozkurczów serca, ponad 100 000 razy dziennie, s¹ one p³asko zgniatane, co przypomina nadepniêcie na ogrodowego wê¿a do polewania.
2. Rozpoczêcie naprawy: Naprawa œcian naczyñ staje siê konieczna. Cholesterol i inne czynniki naprawcze s¹ produkowane we wzmo¿onym tempie w w¹trobie i transportowane przez krwioobieg do okreœlonego miejsca w naczyniu, wymagaj¹cego „reperacji”. Poniewa¿ naczynia wieñcowe serca doznaj¹ czêœciej uszkodzeñ, tam w³aœnie odbywa siê proces intensywnej naprawy.
3. Trwaj¹ca naprawa: Przy trwaj¹cym przez wiele lat niedoborze witamin, proces naprawczy w œcianach naczyñ jest nadmierny. P³ytki mia¿d¿ycowe tworz¹ siê w przewa¿aj¹cej mierze w tych miejscach systemu sercowo-naczyniowego, które potrzebuj¹ najbardziej intensywnej naprawy: têtnicach wieñcowych serca. Teraz ju¿ jest zrozumia³ym fakt, ¿e wponad 100 000 kilometrowym systemie naczyñ krwionoœnych, do zatorów dochodzi tylko na jednym krótkim odcinku – odcinku naczyñ wieñcowych serca, a nie w naczyniach innych organach.
Mia¿d¿yca zaczyna siê od milionów ma³ych pêkniêæ iuszkodzeñ wzd³u¿ wnêtrza œciany naczynia, które s¹ rezultatem chronicznego niedoboru witamin.
Czynniki naprawcze z krwiobiegu (cholesterol, lipoproteiny, etc.) oraz rozrost komórek wewn¹trz œciany naczynia wykorzystywane s¹ przez organizm dostabilizowania i naprawy os³abionych naczyñ.
Przy trwaj¹cym przez wiele lat niedoborze witamin w diecie, naprawa wewn¹trz œcian naczyñ staje siê nadmierna i rozwijaj¹ siê z³ogi mia¿d¿ycowe.
Mia¿d¿yca rozwija siê w trzech etapach.
Moje zalecenie dla pacjentów ze stwierdzon¹ chorob¹ wieñcow¹, lub z podwy¿szonym ryzykiem wyst¹pienia choroby – przyjmujcie dziennie wysokie dawki nastêpuj¹cych komórkowych sk³adników od¿ywczych:
• witamina C: zapewnia ochronê i naturalne leczenie œcian naczyñ oraz cofniêcie siê z³ogów
• witamina E: antyutleniacz – zapewnia ochronê komórek przed samoutlenianiem
• witamina D: optymalizuje metabolizm wapnia oraz powoduje cofniêcie siê z³ogów wapniowych w œcianie têtnicy
• kwas foliowy: pe³ni wraz z witamin¹ B6, witamin¹ B12 oraz betain¹ funkcjê ochronn¹ przeciw podwy¿szonemu poziomowi homocysteiny
• betaina: pe³ni razem z witamin¹ B6, witamin¹ B12 ikwasem foliowym funkcjê ochronn¹ przeciw podwy¿szonemu poziomowi homocysteiny
• miedŸ: wspomaga stabilnoœæ œciany naczynia poprzez poprawê po³¹czeñ moleku³ kolagenu
• L-prolina: wspomaga produkcjê kolagenu, stabilnoœæ œciany naczynia oraz cofniêcie siê z³ogów
• L-lizyna: wspomaga produkcjê kolagenu, stabilnoœæ œciany têtnicy oraz cofniêcie z³ogów
• siarczan chondroityny: wspomaga stabilnoœæ œciany naczynia, s³u¿¹c jako „cement” dla tkanki ³¹cznej
• n-acetylo-glukozoamina: wspomaga stabilnoœæ œciany naczynia, s³u¿¹c jako „cement” dla tkanki ³¹cznej
• pyknogenol: biokatalizator, wspomagaj¹cy dzia³anie witaminy C i wzmacniaj¹cy stabilnoœæ œciany naczynia.
i inne drugorzêdne czynniki ryzyka w chorobie sercowo-naczyniowej
•Cholesterol jest tylko drugorzêdnym czynnikiem ryzyka
•Badania kliniczne nad wybranymi sk³adnikami od¿ywczymi przy zaburzeniach metabolizmu t³uszczów.
•Wykaz specjalnych komórkowych sk³adników od¿ywczych przy zaburzeniach metabolizmu t³uszczów
•U setek milionów ludzi na ca³ym œwiecie stwierdza siê we krwi podwy¿szony poziom cholesterolu, trójglicerydów, LDL (lipoprotein niskiej gêstoœci), lipoproteiny (a) oraz innych czynników ryzyka. Wymienione czynniki krwi maj¹ jednak tylko drugorzêdne znaczenie, poniewa¿, jak ju¿ poprzednio wyjaœni³em, rozstrzygaj¹cym faktorem ryzyka wyst¹pienia chorób uk³adu kr¹¿enia jest niestabilnoœæ œcian naczyñ krwionoœnych, wywo³ana d³ugotrwa³ym niedoborem witamin. Z tego wzglêdu nazywamy je te¿ faktorami drugorzêdnymi lub drugiej rangi. Podwy¿szony poziom cholesterolu, jak równie¿ inne czynniki ryzyka zwi¹zane z krwi¹, nie s¹ przyczyn¹ choroby sercowo-naczyniowej, a konsekwencj¹ rozwijaj¹cej siê choroby naczyñ. Moim zadaniem w tym rozdziale, bêdzie przedstawienie nowego rozumienia funkcji pe³nionych przez drugorzêdne czynniki ryzyka krwi.
•Medycyna konwencjonalna, oparta na farmaceutykach, ogranicza siê do leczenia symptomów chorób uk³adu kr¹¿enia a w g³ównej mierze do redukcji czynników ryzyka we krwi, ignoruj¹c ich g³ówn¹ przyczynê – os³abienie naczyñ krwionoœnych. Jako przyczynê podwy¿szonych wartoœci cholesterolu we krwi podaje siê: uwarunkowane genetycznie zaburzenia metabolizmu t³uszczów i nieodpowiedni¹ dietê. To rozumienie jest b³êdne i wymaga niezw³ocznego uzupe³nienia. Le¿¹ce u podstaw choroby os³abienie œcian naczyñ krwionoœnych pozostaje wiêc nie leczone. Najnowsze typy leków obni¿aj¹cych poziom cholesterolu – statyny, blokuj¹ce syntezê cholesterolu, stosowane s¹ przez miliony ludzi w nadziei na poprawê stanu zdrowia. Tymczasem zgodnie z informacjami zawartymi w Journal of the American Medical Association (JAMA) (Magazyn Amerykañskiego Stowarzyszenia Medycznego), numer z 3 stycznia 1996 roku, statyny wywo³uj¹ nowotwory, maj¹ inne, powa¿ne dzia³ania uboczne i powinno siê „unikaæ ich, jeœli tylko jest to mo¿liwe”.
•Nowoczesna medycyna komórkowa prezentuje ca³kowicie nowy pogl¹d, dotycz¹cy przyczyny wzrostu drugorzêdnych
Dieta: Niedobór witamin w diecie
W¹troba: podwy¿szony poziom produkcji czynników naprawczych
Œciany naczyñ: naprawa staje siê konieczna
Krew:
Cz¹steczki t³uszczowe (cholesterol)
Cukry
Czynniki powoduj¹ce powstawanie zatorów
Cholesterol i inne czynniki zwi¹zane z krwi¹ stanowi¹ zagro¿enie tylko wprzypadku, gdy œciany naczynia
s¹ uszkodzone przez niedobór witamin
czynników ryzyka we krwi i jednoczeœnie okreœla metody prewencji chorób serca. Cholesterol, trójglicerydy, lipoproteiny niskiej gêstoœci (LDL), lipoproteina (a) i inne produkty metabolizmu s¹ idealnymi czynnikami naprawczymi, a ich poziomw krwi wzrasta w odpowiedzi na strukturalne os³abienie œcian naczyñ. Sygna³em do podwy¿szonej produkcji t³uszczów krwiw w¹trobie s¹ wiêc uszkodzenia œcian têtnic. Chroniczny niedobór witamin i innych sk³adników od¿ywczych prowadzi do wzmo¿onej, trwaj¹cej latami nadprodukcji moleku³ naprawczych i odk³adania siê blaszek mia¿d¿ycowych. Medycyna komórkowa pozwala nie tylko na zrozumienie funkcji z³ogu mia¿d¿ycowego, czyli „wspornika” œciany arterii przy niedoborze witamin, ale równie¿ roli wymienionych, drugorzêdnych czynników ryzyka, jako moleku³ naprawczych w zubo¿a³ej w sk³adniki od¿ywcze œcianie naczynia. Zapamiêtaj, ¿e tylko wtedy bêdziesz nale¿a³ do grupy ryzyka chorób uk³adu kr¹¿enia, je¿eli œciany Twoich têtnic os³abione bêd¹ poprzez d³ugotrwa³y niedobór witamin i innych sk³adników od¿ywczych! Tak wiêc trafne jest zaklasyfikowanie cholesterolu iinnych t³uszczów krwi do grupy drugorzêdnych lub podporz¹dkowanych czynników ryzyka.
Najwa¿niejszym sposobem na obni¿enie poziomu cholesterolu i innych drugorzêdnych czynników ryzyka w krwiobiegu jest stabilizacja œcian naczynia i obni¿enie tym samym metabolicznego zapotrzebowania na zwiêkszon¹ produkcjê tych czynników w w¹trobie. Nie dziwi zatem fakt, ¿e dzienny dodatek witamin i wybranych komórkowych sk³adników od¿ywczych jest najlepsz¹ naturaln¹ metod¹ obni¿enia produkcji, atym samym poziomu faktorów ryzyka we krwi.
Medycyna komórkowa pomaga pog³êbiæ nasz¹ wiedzê oró¿nych czynnikach wp³ywaj¹cych na profil ryzyka danej osoby. Podstawowe poziomy cholesterolu i innych czynników ryzyka zwi¹zanych z krwi¹ s¹ w Twoim organizmie okreœlone genetycznie i nie mog¹ byæ zmienione. Istniej¹ jednak dwa sposoby obni¿enia ryzyka choroby sercowo–naczyniowej: odpowiednia dieta i dostarczanie organizmowi niezbêdnych sk³adników,reguluj¹cych metabolizm komórkowy.
•Badania naukowe i kliniczne potwierdzi³y pozytywne oddzia³ywanie na czynniki ryzyka nastêpuj¹cych sk³adników od¿ywczych: witamina C, witamina B3 (kwas nikotynowy), witamina B5 (pantotenian), witamina E, karnityna.
•Programy Zdrowia Komórkowego zawieraj¹ wybór witamin iinnych niezbêdnych sk³adników od¿ywczych, które pomagaj¹ obni¿yæ poziom drugorzêdnych czynników ryzyka. Te niezbêdne sk³adniki redukuj¹ poziom produkcji cholesterolu oraz innych moleku³ naprawczych w w¹trobie, przyczyniaj¹c siê w tym samym czasie do naprawy œcian naczynia.
„Cholesterolowa histeria” w Niemczech:
W interesie przemys³u farmaceutycznego, tylko w samych Niemczech wprowadzono ca³kowicie samowolne normy, dotycz¹ce poziomu cholesterolu i jego dopuszczalnej granicy.
Na ich podstawie ponad 8 milionów Niemców zaklasyfikowano jako: „chorych na cholesterol”.
•Poni¿sze informacje kierujemy w szczególnoœci do pacjentów z podwy¿szonym cholesterolem i innymi wtórnymi czynnikami ryzyka: Obni¿enie poziomu cholesterolu bez jednoczesnego ustabilizowania œciany têtnicy jest terapi¹ niepe³n¹. Zacznij jak najszybciej stosowaæ wybrane mikrosk³adniki od¿ywcze, aby poprawiæ stabilnoœæ œcian têtnic. W rezultacie tego, czynniki ryzyka we krwi zaczynaj¹ siê normalizowaæ. Unikaj te¿ przyjmowania leków obni¿aj¹cych poziom cholesterolu. Leki te powinny byæ zarezerwowane tylko dla pacjentów z ciê¿kimi zaburzeniami metabolicznymi.
Poni¿ej zacytowano listy wdziêcznych pacjentów z podwy¿szonym poziomem cholesterolu i innymi problemami lipidowymi. Ich relacje s¹ œwiadectwem terapeutycznego dzia³ania komórkowych sk³adników od¿ywczych w normalizacji podwy¿szonych wartoœci we krwi drugorzêdnych czynników ryzyka. Proszê, podziel siê t¹ informacj¹ z przyjació³mi i znajomymi, aby umo¿liwiæ im obni¿enie poziomu cholesterolu za pomoc¹ metod naturalnych i zaprzestanie za¿ywania szkodliwych lekarstw.
U wiêkszoœci ludzi, którzy zaczêli realizowaæ moje zalecenia, poziom cholesterolu i innych czynników ryzyka we krwi szybko spad³. Znamy ju¿ przyczynê takiego zjawiska: zaopatrzenie organizmu w komórkowe sk³adniki od¿ywcze powoduje lepsz¹ stabilnoœæ tkanki ³¹cznej naczyñ i redukuje zapotrzebowanie na moleku³y naprawcze. Ich produkcja w w¹trobie zostaje zminimalizowana a poziom we krwi zmniejsza siê.
Co ciekawe, niektórzy pacjenci donosz¹ o przejœciowym wzroœcie poziomu cholesterolu po rozpoczêciu terapii. Poniewa¿ wzrost poziomu cholesterolu we krwi nie jest rezultatem jego zwiêkszonej produkcji w w¹trobie, musi zatem pochodziæ zinnego Ÿród³a –przede wszystkim ze z³ogów mia¿d¿ycowych wœcianach naczyñ. Ten wa¿ny mechanizm zosta³ po raz pierwszy opisany przez dr Constance Spittle w medycznym czasopiœmie The Lancet, w roku 1972. Autorka pisa³a, ¿e dostarczanie witamin pacjentom z chorob¹ sercowo-naczyniow¹ czêsto prowadzi³o do czasowego wzrostu poziomu cholesterolu we krwi. Dla porównania, poziom cholesterolu u osób zdrowych nie wzrasta³ po podaniu witamin.
Czasowy wzrost poziomu cholesterolu jest dodatkowym sygna³em procesu uzdrawiania w œcianach naczyñ i zmniejszania siê z³ogów
t³uszczu. Opisany tu mechanizm dzia³a oczywiœcie nie tylko w przypadku cholesterolu, ale równie¿ trójglicerydów, LDL, lipoproteiny (a) i innych drugorzêdnych czynników ryzyka, które poprzez lata zgromadzi³y siê wewn¹trz œcian naczyñ ipowoli przenika³y do krwiobiegu.
Moje zalecenia w tym przypadku:
Wzrost poziomu cholesteroluw surowicy krwi, w czasie stosowania terapii witaminowej, oznacza, ¿e nastêpuje naturalna redukcja z³ogów t³uszczów wTwoichnaczyniach. Kontynuuj dalej realizacjê programu witaminowego. Po kilku miesi¹cach poziom cholesterolu we krwi spadnie, czêsto poni¿ej wartoœci pocz¹tkowej. Proces normalizacji wartoœci t³uszczów w surowicy mo¿esz przyœpieszyæ poprzez uzupe³nienie dziennej diety w produkty zawieraj¹ce b³onnik, na przyk³ad: warzywa, owoce, produkty zbo¿owe.
Teraz chcia³bym przedstawiæ pewien szczególnie wa¿ny drugorzêdny czynnik ryzyka, jakim jest lipoproteina (a). W³aœciwe dzia³anie lipoproteiny (a) jest bardzo u¿yteczne; spe³nia ona wiele ró¿nych funkcji, na przyk³ad podczas gojenia ran. Jeœli jednak œciana naczynia jest os³abiona d³ugotrwa³ym niedoborem witamin, lipoproteina (a) zmienia siê w czynnik ryzyka choroby sercowo–naczyniowej, dziesiêæ razy groŸniejszy od wysokiego poziomu cholesterolu. Przyjrzyjmy siê bli¿ej, czym ró¿ni¹ siê moleku³y lipoproteiny (a) od moleku³ innych t³uszczów.
Cholesterol i trójglicerydy nie unosz¹ siê we krwi, tak jak t³uszcz unosi siê w zupie. Wszystkie te substancje zwi¹zane z bia³kami wma³e okr¹g³e cz¹steczki transportowe tworz¹ – lipoproteiny (po³¹czenie lipidów z proteinami). W naszym krwioobiegu cyrkuluj¹ nieprzerwanie miliony lipoprotein. Do najbardziej znanych przedstawicieli nale¿¹: lipoproteiny wysokiej gêstoœci (HDL, czylitak zwany „dobry cholesterol”) oraz lipoproteiny niskiej gêstoœci (LDL, tak zwany „z³y cholesterol”).
Wp³yw witaminy C na poziom cholesterolu i innych t³uszczów we krwi zosta³ udokumentowany w licznych badaniach klinicznych.
• Ponad 40 z tych badañ zosta³o przeprowadzonych przez dra Harrie Hemilä z Uniwersytetu w Helsinkach, w Finlandii. Upacjentów z wysokim poziomem cholesterolu (ponad 270 mg/dl) wprowadzenie do diety dodatku witaminy C pozwala³o obni¿yæ poziom cholesterolu nawet o 20%. Dla porównania, upacjentów ze œrednim lub niskim pocz¹tkowym poziomem cholesterolu wykazano tylko niewielki jego spadek, lub wartoœci pozostawa³y niezmienione.
• W badaniach finansowanych przez Amerykañskie Stowarzyszenie Serca, dr B. Sokoloff udowodni³, ¿e dwa lub trzy gramy witaminy C dziennie mog¹ obni¿yæ poziom trójglicerydów w krwi œrednio o 50% – 70%. Okaza³o siê, ¿e witamina C zwiêksza produkcjê enzymów (lipaz), katalizuj¹cych rozk³ad t³uszczów, te¿ trójglicerydów, nawet do 100%.
• Dalsze badania kliniczne pokazuj¹, ¿e równie¿ inne komórkowe sk³adniki od¿ywcze wspó³dzia³aj¹c z witamin¹ C obni¿aj¹ poziom cholesterolu i innych t³uszczów we krwi. Lista tych sk³adników obejmuje m. in. witaminê B3 (kwas nikotynowy), witaminê B5 (pantotenian), witaminê E, karnitynê oraz inne niezbêdne sk³adniki. O zdecydowanej przewadze stworzonych przeze mnie programów Zdrowia Komórkowego nad spo¿yciem „mega–dawek” pojedynczych witamin stanowi efekt synergicznego dzia³ania poszczególnych komponentów.
Poni¿sza tabela przedstawia przegl¹d najwa¿niejszych badañ. Kród³a do nich znajdziesz w za³¹czniku.
Zbadane
sk³adniki od¿ywcze Autorzy badañ
•Witamina C Ginter, Harwood, Hemilä
•Witamina B3 Altschul, Carlson, Guraker, Lavie
•Witamina B5 Avogaro, Cherchi, Gaddi
•Witamina E Beamish, Hermann
•Karnityna Opie
Podczas lektury tego rozdzia³u mo¿esz zadaæ sobie nastêpuj¹ce pytania: „A co z cholesterolem? Czy te wszystkie doniesienia ocholesterolu i ryzyku zawa³u serca to tylko histeria medialna?” Niestety, taka w³aœnie jest prawda. Oto kilka rzeczowych faktów:
• Je¿eli w interesie zdrowia milionów ludzi, nowoczesna koncepcja musi zrewidowaæ medyczny pogl¹d naukowy, wymagane jest przede wszystkim wyraŸne ukazanie braku logiki iniesta³oœci tego powszechnie przyjêtego pogl¹du. Medyczne rozumowanie na temat przyczyny choroby sercowo-naczyniowej opiera siê na twierdzeniu, ¿e zarówno wzrost wartoœci we krwi cholesterolu, jak i innych omówionych wczeœniej czynników ryzyka jest powodem uszkodzeñ œcian arterii ipowstawania z³ogów mia¿d¿ycowych. Ten model rozumowania tracina wa¿noœci, apowodem jest szczegó³owa i wyczerpuj¹ca dokumentacja zawarta wczytanej przez Ciebie ksi¹¿ce. Zapytasz, dlaczego tak d³ugo siê utrzymywa³? To proste – winteresie przemys³u farmaceutycznego wartego miliardy Euro le¿y sztuczne zachowanie jak najwy¿szego poziomu zachorowalnoœci. Z mojej strony staje siê zatem koniecznoœci¹ ukazanie œwiadomego, destrukcyjnego wp³ywu karteli farmaceutycznych na zdrowie milionów ludzi oraz przybli¿enie podstaw dzia³ania rynku leków obni¿aj¹cych poziom cholesterolu;
• W latach siedemdziesi¹tych Œwiatowa Organizacja Zdrowia (WHO) – sprzymierzeniec przemys³u farmaceutycznego – prze-
prowadzi³a miêdzynarodowe badania, których celem by³o stwierdzenie ewentualnych zale¿noœci miedzy poziomem cholesterolu i ryzykiem wyst¹pienia zawa³ów serca. Tysi¹ce uczestników testów otrzymywa³o lek obni¿aj¹cy poziom cholesterolu o nazwie „Clofibrate”. Badanie to nie mog³o zostaæ doprowadzone do koñca, poniewa¿ u uczestników przyjmuj¹cych testowany lek pojawi³o siê zbyt wiele dzia³añ ubocznych. Uzyskanie kompletnych wyników badania sta³o siê wobec tego przedsiêwziêciem zbyt ryzykownym.
• We wczesnych latach osiemdziesi¹tych g³oœne sta³y siê zakrojone na szerok¹ skalê badania przeprowadzone w USA na ponad 3 800 mê¿czyznach. W badaniach tych sprawdzano, czy lek obni¿aj¹cy poziom cholesterolu „Cholestyramina”, znany te¿ pod nazw¹ „Quantalan”, mo¿e zmniejszaæ ryzyko wyst¹pienia zawa³u serca. Jedna grupa uczestników przyjmowa³a do 24 gramów (24 000 mg) Cholestyraminy dziennie przez kilka lat. Druga grupa – kontrolna przyjmowa³a tak¹ sam¹ iloœæ placebo (kontrolnej substancji neutralnej). Jakie uzyskano wyniki? W grupie przyjmuj¹cej lek obni¿aj¹cy poziom cholesterolu zmar³o tyle samo osób, co w grupie kontrolnej. Wœród pacjentów za¿ywaj¹cych lek obni¿aj¹cy poziom cholesterolu zanotowano szczególnie czêste wypadki isamobójstwa. Nie zwa¿aj¹c na fakty, firmy farmaceutyczne promowa³y wyniki tych kontrowersyjnych badañ jako sukces. Fakt, ¿e w grupie przyjmuj¹cej lek wystêpowa³o nieznacznie mniej symptomów sercowo–naczyniowych ni¿ w grupie kontrolnej,rozreklamowany zosta³ jako potwierdzenie hipotezy ocholesterolu jako przyczynie ataków serca. Ma³o kto przejmowa³ siêrzeczywistymi danymi badañ, dotycz¹cymi np. iloœci zgonów.
• W póŸnych latach osiemdziesi¹tych, na œwiatowych rynkach pojawi³a siê nowa grupa leków hamuj¹cych produkcjê cholesterolu w organizmie a przez to obni¿aj¹cych jego poziom tzw. statyny. Do najbardziej znanych przedstawicieli tej grupy nale¿¹ m. in. „Lovastatinum”, „Pravastatinum” i „Simvastatinum”. Wkrótce jednak okaza³o siê, ¿e leki te obni¿a³y produkcjê nie tylko cholesterolu, ale równie¿ innych niezbêdnych substancji, takich jak na przyk³ad ubichinon (koenzym Q-10). Profesor Karl Folkers, z
Uniwersytetu Teksañskiego wAustin przestrzega³ na ³amach Proceedings of the National Academy of Sciences (Doniesienia Narodowej Akademii Nauk)przed mo¿liwoœci¹ wyst¹pienia ciê¿kich dzia³añ ubocznych, wywo³anych stosowaniem statyn. Profesor Folkers donosi³, ¿e u pacjentów z niewydolnoœci¹ serca, za¿ywaj¹cych ten nowy lek obni¿aj¹cy poziom cholesterolu, dochodzi do znacznego spadku poziomu koenzymu Q-10. To zaburzenie metabolizmu mo¿e mieæ groŸne dla ¿ycia nastêpstwa wpostaci zaostrzenia objawów choroby.
• Od kiedy moje prace naukowe wyraŸnie potwierdzi³y, ¿e zwierzêta nie dostaj¹ zawa³ów serca, nie ze wzglêdu na wysoki poziom cholesterolu ani poprzez leki obni¿aj¹ce poziom cholesterolu, ale poniewa¿ produkuj¹ wystarczaj¹c¹ iloœæ witaminy C, to presja na przemys³ farmaceutyczny wyraŸnie wzros³a. Odk¹d bowiem ustalono, ¿e choroby uk³adu kr¹¿enia s¹ przede wszystkim zwi¹zane z niedoborem witamin, sta³o siê równie¿ jasne, ¿e wielomiliardowy rynek leków obni¿aj¹cych poziom cholesterolu upadnie.
Pozostaje jedynie kwesti¹ czasu, nim miliony ludzi zda sobie sprawê, ¿e witaminy s¹ skuteczne w zapobieganiu zawa³om serca bez skutków ubocznych i do tego stosunkowo tanie. Mo¿na przypuszczaæ, ¿e ju¿ nied³ugo pacjenci nie bêd¹ zmuszani do przyjmowania leków obni¿aj¹cych poziom cholesterolu, których d³ugotrwa³e stosowanie mo¿e spowodowaæ powa¿ne szkody zdrowotne, takie jak niewydolnoœæ serca, zaburzenia czynnoœci w¹troby i nowotwory. Tak jak ofiary raka p³uc z powodzeniem pozywa³y przemys³ tytoniowy, tak samo poszkodowani pacjenci bêd¹ pozywaæ producentów leków obni¿aj¹cych poziom cholesterolu. Poni¿sze fakty przemawiaj¹ równie¿ za tym, ¿e sprzeda¿ tych preparatów powinna byæ zakazana:
Dla tych wszystkich czytelników, którzy wci¹¿ w¹tpi¹, ¿e zdrowie setek tysiêcy pacjentów zosta³o poœwiêcone interesom biznesowym przemys³u farmaceutycznego, zapraszam do lektury nastêpnej strony.
Ponad dekadê po tym, jak podjêliœmy walkê z oszustwami farmaceutycznymi na temat leków obni¿aj¹cych poziom cholesterolu, do akcji przy³¹czy³y siê równie¿ œrodki masowego przekazu. 11 sierpnia 2003 r. niemiecki „Der Spiegel" w artykule zatytu³owanym „Wymyœlone choroby” zacytowa³ kardiologa Haralda Klepziga z Niemieckiej
Fundacji na rzecz Serca we Frankfurcie: „Ucieszy³oby nas, gdyby mo¿na by³o przedstawiæ chocia¿ jedno kontrolowane badanie kliniczne, które udowadnia³oby, ¿e ludzkie ¿ycie jest ratowane przez obni¿anie poziomu cholesterolu. W przeciwieñstwie do tego nie jest jednak trudno przedstawiæ dziesiêæ badañ, z których wynika, ¿e zmniejszeniu zawartoœci t³uszczu towarzyszy czêœciej wy¿szy wskaŸnik œmiertelnoœci.”
Jeœli ktokolwiek z moich czytelników nadal uwa¿a, ¿e cholesterol mo¿e byæ przyczyn¹ zawa³ów serca, chcia³bym podzieliæ siê znim nastêpuj¹cymi spostrze¿eniami:
NiedŸwiedzie oraz miliony innych zwierz¹t zapadaj¹cych wsen zimowy, maj¹ przeciêtny poziom cholesterolu ponad 400 mg/dl. Jeœli cholesterol rzeczywiœcie by³by przyczyn¹ mia¿d¿ycy, zawa³ów serca i udarów mózgu, niedŸwiedzie i inne zwierzêta zapadaj¹ce w sen zimowy wyginê³yby ju¿ dawno temu. Powód, dziêki któremu niedŸwiedzie s¹ ci¹gle wœród nas jest prosty – produkuj¹ one w swoich organizmach du¿e iloœci witaminy C, która stabilizuje œciany ich naczyñ. Fakt, ¿e niedŸwiedzie nie wyginê³y dowodzi, i¿:
1. Podwy¿szony poziom cholesterolu we krwi nie jest g³ówn¹ przyczyn¹ mia¿d¿ycy, zawa³ów serca i udarów mózgu.
2. Osi¹gniêcie i utrzymanie stabilnoœci œcian naczyñ przez optymalne zaopatrzenie w witaminy jest wa¿niejsze od obni¿ania poziomu cholesterolu i innych czynników ryzyka w krwiobiegu.
3. Cholesterol i inne metaboliczne moleku³y mog¹ staæ siê czynnikami ryzyka tylko w wypadku, gdy œciany naczyñ s¹ os³abione chronicznym niedoborem witamin.
Tym nag³ówkiem zaalarmowa³ ca³¹ opiniê œwiatow¹ Journal of the American Medical Association (Magazyn Amerykañskiego Towarzystwa Medycznego), 3 stycznia 1996 r. „Wybuch³a bomba”! Dr Thomas Newman i dr Stephen Halley z Uniwersytetu San Francisco wykazali, ¿e wiêkszoœæ zdostêpnych na rynku leków obni¿aj¹cych poziom cholesterolu, szczególnie statyny i fibraty, ma udokumentowane wtestach na zwierzêtach w³aœciwoœci rakotwórcze i to w dawkach przepisywanych setkom tysiêcy ludzi. Jednoczeœnie obaj naukowcy powo³ali siê nie na w³asne relacje, ale na naukowe badania przeprowadzone przez firmy farmaceutyczne, przed³o¿one Urzêdowi ds. ¯ywienia iLeków USA, w celu dopuszczenia na rynek badanych œrodków. Ustalenia zawarte w tym artykule by³y na tyle alarmuj¹ce, ¿e jego autorzy zadali uzasadnione pytanie: „Jak to jest mo¿liwe, ¿e organ decyzyjny, U.S. Food and Drug Administration (FDA) (Amerykañski Urz¹d ds. ¯ywienia i Lekarstw) dopuœci³ te leki do sprzeda¿y dla milionów ludzi?”. OdpowiedŸ, jak¹ otrzymali by³a niewiarygodna: koncerny farmaceutyczne tak dalece zlekcewa¿y³y znaczenie w³aœciwoœci rakotwórczych, ¿e bez problemu otrzyma³y zgodê urzêdu na wprowadzenie leków do sprzeda¿y.
To pytanie nale¿a³oby zadaæ wszystkim urzêdom dopuszczaj¹cym leki, nie tylko w USA, ale tak¿e w krajach europejskich: na jakiej podstawie dopuszczone zostaj¹ do sprzeda¿y rakotwórcze leki obni¿aj¹ce poziom lipidów we krwi?
Koncerny farmaceutyczne nie maj¹ ¿adnych problemów z wprowadzeniem na rynek nowych leków. Dzieje siê to dlatego, ¿e na listach ich p³ac dodatkowo figuruj¹ niezale¿ni kontrolerzy jakoœci, powo³ywani przez urzêdy ds. leków – te fakty ujawni³ Thomas Moore wswojej ksi¹¿ce „Deadly Medicine” („Zabójcza Medycyna“).
Nacisk na koncerny farmaceutyczne przybra³ na sile, gdy publikacja pierwszego wydania mojej ksi¹¿ki w roku 1993 wyjaœnia³a po raz pierwszy szerokiemu odbiorcy, ¿e zwierzêta nie dostaj¹ zawa³ów serca, poniewa¿ produkuj¹ wystarczaj¹c¹ iloœæ witaminy C, a nie dlatego, ¿e maj¹ niski poziom cholesterolu. Teraz, gdy jest ju¿ pewne, ¿e choroby sercowo–naczyniowe s¹ w pierwszym rzêdzie chorobami niedoboru witamin, staje siê pewnym fakt, ¿e miliardowy rynek leków obni¿aj¹cych poziom cholesterolu wkrótce siê za³amie.
Ju¿ tylko kwesti¹ czasu jest, aby wiedza o skutecznej, taniej ipozbawionej dzia³añ ubocznych ochronie witamin przed zawa³ami serca, dotar³a
„Lekarstwa obni¿aj¹ce poziom cholesterolu we krwi –czynnikiem rakotwórczym”
sk³adników od¿ywczych przy zaburzeniach metabolizmu t³uszczów
Moje zalecenia dla pacjentów z podwy¿szonym poziomem cholesterolu lub innymi zaburzeniami metabolizmu – w uzupe³nieniu programu podstawowego, przyjmujcie dziennie podwy¿szone dawki nastêpuj¹cych komórkowych sk³adników od¿ywczych:
• witamina C: zapewnia ochronê i naturalne leczenie œcian naczyñ, normalizuje podwy¿szon¹ produkcjê cholesterolu iin. czynników ryzyka w w¹trobie oraz ich poziom we krwi.
• witamina E: antyutleniacz, zapewnia ochronê lipidów ikomórek przed samoutlenianiem.
• witamina B1: zapewnia optymalizacjê metabolizmu komórkowego i zaopatrzenie w bioenergiê.
• witamina B2: zapewnia optymalizacjê metabolizmu komórkowego i zaopatrzenie w bioenergiê.
• witamina B3: obni¿a nadmiern¹ produkcjê cholesterolu ilipoprotein w w¹trobie
• witamina B5: strukturalny komponent g³ównej metabolicznej moleku³y komórek (koenzym A), w przemianie materii optymalizuje degradacjê i syntezê t³uszczów.
• witamina B6, biotyna i kwas foliowy: przyœpieszaj¹ rozpad czynnika ryzyka homocysteiny w metabolizmie komórkowym.
• karnityna: optymalizuje metabolizm kwasów t³uszczowych, obni¿a poziom triglicerydów.
do milionów ludzi. Jest tak¿e do przewidzenia, ¿e ju¿ wkrótce nie bêdzie wiêcej chêtnych do ³ykania tabletek, wywo³uj¹cych powa¿ne skutki uboczne, takie jak: niewydolnoœæ serca, zaburzenia funkcjonowania w¹troby, czy nawet choroby nowotworowe, adotkniêci nimi pacjenci bêd¹ wnosiæ pozwy do s¹dów przeciw producentom leków. Wszystkie te fakty œwiadcz¹ o tym, ¿e ju¿ najwy¿szy czas, aby leki obni¿aj¹ce poziom cholesterolu zginê³y ze œwiatowych rynków. Chcia³bym siê jeszcze zwróciæ do tych wszystkich pacjentów, którzy w¹tpi¹ w niezbity fakt z³o¿enia w ofierze inwestycyjnemu przemys³owi farmaceutycznemu zdrowia setek tysiêcy ludzi – dajcie siê przekonaæ prawdzie!
Dopiero po dziesiêciu latach od momentu podjêcia przeze mnie walki z farmaceutycznym oszustwem, dotycz¹cym leków obni¿aj¹cych poziom cholesterolu, z ukrycia wychyli³y siê massmedia. 11 sierpnia 2003 roku w niemieckim „Der Spiegel” ukaza³ siê artyku³ „Fikcyjne choroby”, cytuj¹cy m. in. s³owa dra Haralda Klepziga kardiologa niemieckiej „Fundacji Serca” we Frankfurcie: „Bylibyœmy szczêœciarzami, gdyby przed³o¿ono chocia¿ jedno jedyne badanie kliniczne, niezbicie udowadniaj¹ce, ¿e poprzez obni¿enie poziomu cholesterolu mo¿na uratowaæ ludzkie ¿ycie. Nie brakuje jednak wielu publikacji dotycz¹cych badañ klinicznych nad podwy¿szon¹ œmiertelnoœci¹ przy obni¿aniu poziomu t³uszczów we krwi”.
•Dlaczego Programy Zdrowia Komórkowego pomagaj¹ pacjentom z nadciœnieniem
•Dodatkowe informacje na temat komórkowych sk³adników od¿ywczych w nadciœnieniu
•Badania kliniczne nad wybranymi sk³adnikami od¿ywczymi przy nadciœnieniu
•Wykaz specjalnych komórkowych sk³adników od¿ywczych przy nadciœnieniu têtniczym
•Wspó³czeœnie kilkaset milionów ludzi na ca³ym œwiecie cierpi na nadciœnienie têtnicze. Ze wszystkich chorób uk³adu kr¹¿enia jest ono chorob¹ cywilizacyjn¹ o najwiêkszym rozmiarze. Epidemiczne rozprzestrzenianie siê tej choroby jest w du¿ej mierze spowodowane faktem, i¿ do chwili obecnej przyczyny nadciœnienia têtniczego s¹ niewystarczaj¹co lub wogóle nieznane.
•Medycyna konwencjonalna uznaje, ¿e w ponad 90 % przyczyny nadciœnienia têtniczego s¹ nieznane. St¹d te¿ powszechnie stawiana diagnoza „idiopatyczna hipertonia”, czyli nadciœnienie samoistne lub pierwotne, oznacza po prostu – nadciœnienie o nieznanej przyczynie. Medycyna konwencjonalna – zorientowana na leczenie farmakologiczne – ogranicza siê jedynie do leczenia objawów tej choroby. Stosowane w terapii leki: beta-blokery, leki moczopêdne (diuretyki) oraz inne sztucznie obni¿aj¹ ciœnienie krwi (podejœcie zorientowane na objawy) bez rozwi¹zania zasadniczego problemu – „skurczu” œciany naczynia krwionoœnego.
•Nowoczesna medycyna komórkowa wskazuje nowe drogi ustalania przyczyn schorzenia, nowe mo¿liwoœci zapobiegania i terapii wspomagaj¹cej. G³ówn¹ przyczyn¹ nadciœnienia têtniczego jest chroniczny niedobór niezbêdnych sk³adników od¿ywczych w milionach komórek œciany naczynia.
To prowadzi do czynnoœciowego skurczu naczynia, stwardnienia œciany, jej pogrubienia i w konsekwencji do podniesienia ciœnienia krwi. Os³abione naprê¿enie œciany têtnicy prowadzi do powiêkszenia przekroju naczynia a przez to do obni¿enia ciœnienia. U zdrowych osób, za normalne napiêcie œcian têtnic odpowiadaj¹ tzw. czynniki „Relaxing”, czyli „czynniki rozluŸniaj¹ce”, produkowane w komórkach naczyñ. W przypadku pacjentów cierpi¹cych na nadciœnienie czynniki rozluŸniaj¹ce produkowane s¹ w niedoborze.
G³ówna przyczyna
Niedobór witamin i innych
sk³adników od¿ywczych
wmilionach komórek œciany naczynia krwionoœnego
Podstawowe sposoby
zapobiegania i korygowania
Optymalne przyjmowanie niezbêdnych sk³adników
od¿ywczych w diecie:
– witamina C
– magnez
– arginina
– koenzym Q-10
Uzupe³nia
Pogrubienie i skurcze œciany naczynia
Pomaga zapobiegaæ
i korygowaæ
Pomaga zapobiegaæ
Nadciœnienie têtnicze
i korygowaæ Pomaga zapobiegaæ
i korygowaæ
Przyspieszone narastanie z³ogów mia¿d¿ycowych
Zawa³y serca i udary mózgu
Pomaga zapobiegaæ
Komórkowe sk³adniki od¿ywcze przy nadciœnieniu têtniczym
•W naturalnej profilaktyce choroby nadciœnieniowej zalecane s¹ wybrane witaminy i inne sk³adniki od¿ywcze, przyczyniaj¹ce siê nie tylko do zapobiegania chorobie, ale równie¿ do normalizowania istniej¹cego ju¿ wysokiego ciœnienia. Na szczególn¹ uwagê zas³uguj¹: witamina C, aminokwas arginina i inne substancje, które w naturalny sposób usuwaj¹ niedobór czynników rozluŸniaj¹cych w œcianie têtnicy.
•Badania naukowe i kliniczne potwierdzi³y równie¿ znaczenie magnezu i koenzymu Q-10 w procesie normalizacji nadciœnienia têtniczego. Moje zalecenia dla pacjentów z nadciœnieniem têtniczym: rozpocznijcie jak najszybciej stosowanie naturalnej terapii zkomórkowymi sk³adnikami od¿ywczymi i poinformujcie otym swojego lekarza. Realizujcie ten program jako dodatek do swych standardowych leków. Nie odstawiajcie ani nie zmieniajcie swoich dotychczasowych leków bez porozumienia z lekarzem.
•Lepiej zapobiegaæ ni¿ leczyæ. Skutecznoœæ programów Zdrowia Komórkowego u pacjentów z nadciœnieniem têtniczym oparta jest na fakcie, i¿ milionom komórek œciany naczynia dostarczane jest brakuj¹ce „paliwo komórkowe”, niezbêdne dla ich optymalnego funkcjonowania. Naturalny program sercowo-naczyniowy, który trwale koryguje wysokie ciœnienie jest najlepszym wyborem, jakiego mo¿esz dokonaæ, aby skutecznie zapobiec chorobie.
Zrozumieæ, jak mikrosk³adniki od¿ywcze pomagaj¹ przy nadciœnieniu têtniczym
www.bodyxq.org. Stworzyliœmy unikalny program edukacyjny online, który umo¿liwia zrozumienie funkcji mikrosk³adników od¿ywczych w organizmie zapobiegaj¹cych nadciœnieniu têtniczemu. Od uczniów po emerytów i rencistów, ka¿dy mo¿e w ³atwy sposób zdobyæ tê wiedzê i zrozumieæ przyczyny powstawania chorób.
Interaktywna edukacja:
Niedobór mikrosk³adników od¿ywczych prowadzi do skurczu komórek miêœniowych œciany têtnicy i wysokiego ciœnienia krwi
Zaopatrzenie w mikrosk³adniki od¿ywcze prowadzi do rozluŸnienia komórek miêœniowych œciany têtnic i pomaga normalizowaæ podwy¿szone ciœnienie krwi.
www.bodyxq.org -> Diorama Serce -> Wysokie ciœnienie krwi
Komórkowe sk³adniki od¿ywcze pomagaj¹ w sposób naturalny, obni¿yæ podwy¿szone ciœnienie. Dodatkowo chroni¹ one œciany têtnic, zapobiegaj¹ powstawaniu i postêpowi z³ogów mia¿d¿ycowych oraz redukuj¹ naprê¿enie œcian. Dla pacjentów znadciœnieniem têtniczym polecane s¹ nastêpuj¹ce komórkowe sk³adniki od¿ywcze:
•Arginina, naturalny aminokwas, za poœrednictwem enzymu syntazy z L-argininy powstaje tlenek azotu, zbudowany tylko z dwóch atomów: azotu i tlenu. Zwi¹zek ten jest najsilniejszym znanym czynnikiem rozkurczaj¹cym naczynia krwionoœne. Tlenek azotu wzmaga elastycznoœæ œcian naczyñ ipomaga znormalizowaæ wysokie ciœnienie krwi.
•Witamina C wzmaga produkcjê prostacykliny w œcianie têtnicy, hormonu tkankowego hamuj¹cego zlepianie p³ytek krwi irozszerzaj¹cego naczynia krwionoœne, zw³aszcza wieñcowe.
•Magnez, naturalny antagonista wapnia, jest niezbêdny dla optymalnej równowagi mineralnej w komórkach œcian naczyñ krwionoœnych. Przyczynia siê do obni¿enia napiêcia œciany têtnicy i jednoczeœnie do normalizacji ciœnienia krwi.
•Lizyna i prolina pomagaj¹ chroniæ œciany naczyñ izapobiegaæ rozwojowi z³ogów mia¿d¿ycowych. Ten wa¿ny mechanizmzosta³ omówiony szczegó³owo w rozdziale drugim itrzecim. Poniewa¿ mia¿d¿yca jest powi¹zana znadciœnieniem têtniczym, sk³adniki te s¹ równie¿ niezbêdne w zapobieganiu ileczeniu tego stanu.
Przedstawione fakty naukowe podkreœlaj¹ szczególne znaczenie w³aœciwej kombinacji witamin i innych naturalnych sk³adników od¿ywczych w profilaktyce i leczeniu wspomagaj¹cym przy nadciœnieniu têtniczym.
Wybrane komórkowe sk³adniki od¿ywcze przetestowaliœmy wpilota¿owym badaniu klinicznym na 15 pacjentach (wprzedziale wiekowym 32 – 69 lat), cierpi¹cych na zaawansowane nadciœnienie têtnicze. Czas trwania badania wynosi³ 32 tygodnie. W tym okresie, oprócz przepisanych leków na nadciœnienie, uczestnicy otrzymywali dodatek komórkowych sk³adników od¿ywczych.
Ciœnienie krwi ka¿dego pacjenta by³o mierzone w takcie dwutygodniowym. Na pocz¹tku badania wszyscy pacjenci mieli podwy¿szone ciœnienie zarówno w fazie skurczu jak i rozkurczu. Œrednia wartoœæ ciœnienia têtniczego skurczowego (górnego) wynosi³a 167mm Hg, a rozkurczowego (dolnego) – 97.
Po trwaj¹cej 32 tygodnie terapii z komórkowymi sk³adnikami od¿ywczymi wartoœci ciœnienia wyraŸnie poprawi³y siê uwszystkich uczestników. Wyniki koñcowe badania przedstawia³y siê nastêpuj¹co: œrednie systoliczne ciœnienie wynosi³o 142 mm Hg a diastoliczne 83. Odczyty te by³y ni¿sze odpowiednio o oko³o 16% i 15% od pomiarów ciœnienia wykonanych na pocz¹tku badania. Rezultatom tym nie towarzyszy³y ¿adne efekty uboczne,tak czêste wœród ludzi za¿ywaj¹cych leki obni¿aj¹ce ciœnienie.
U pacjentów przyjmuj¹cych komórkowe sk³adniki od¿ywcze, wartoœci ciœnienia systolicznego i diastolicznego obni¿y³y siê œrednio o 16% i 15%.
W³aœnie udowodniliœmy, ¿e ró¿norodne sk³adniki od¿ywcze s¹ wstanie obni¿yæ w sposób naturalny wartoœci ciœnienia krwi. Jed no czeœnie pacjenci mog¹ liczyæ na brak jakichkolwiek dzia ³añ ubocznych przy stosowaniu naturalnych produktów równie¿ dlatego, ¿e ciœnienie krwi ulega normalizacji a nie gwa³townemu obni¿eniu, przy którym mo¿e dojœæ do zaburzenia równowagi ios³abienia organizmu. Takie reakcje nie nale¿¹ do rzadkoœci wprzypadku stosowania popularnych na rynku leków obni¿a j¹cych ciœnienie.
W poni¿szej tabeli umieszczono przegl¹d przeprowadzonych ba dañ klinicznych, z zastosowaniem komórkowych sk³adników od¿ywczych: lewa kolumna przedstawia badane sk³adniki pokar mowe, œrodkowa – wyniki koñcowe badañ, prawa – autorów badania.
Moje zalecenia dla pacjentów z nadciœnieniem têtniczym – w uzupe³nieniu programu podstawowego, przyjmujcie dziennie podwy¿szone dawki nastêpuj¹cych komórkowych sk³adników od¿ywczych:
• witamina C: obni¿a napiêcie œciany naczynia, odpowiada za wzrost iloœci czynników rozluŸniaj¹cych iobni¿a podwy¿szone ciœnienie krwi
• witamina E: przeciwutleniacz, zapewnia ochronê b³on komórkowych
• arginina: wzmaga produkcjê „czynników rozluŸniaj¹cych”, obni¿a napiêcie œcian naczyñ oraz podwy¿szone ciœnienie krwi
• magnez: wp³ywa na metabolizm innych pierwiastków, obni¿a napiêcie œcian naczyñ krwionoœnych ipodwy¿szone ciœnienie krwi
• wapñ: optymalizuje metabolizm minera³ów, obni¿a napiêcie œcian naczyñ i podwy¿szone ciœnienie krwi
• bioflawonoidy: katalizatory, które m.in. usprawniaj¹ biologiczne dzia³anie witaminy C
Komórkowe sk³adniki od¿ywcze w zapobieganiu i terapii wspomagaj¹cej
•Dlaczego Programy Zdrowia Komórkowego pomagaj¹ pacjentom z niewydolnoœci¹ serca
•Katastrofalne skutki niekompleksowego leczenia niewydolnoœci serca
•Badania kliniczne i dodatkowe informacje okomórkowych sk³adnikach od¿ywczych przyniewydolnoœci serca
•Wykaz specjalnych sk³adników od¿ywczych przyniewydolnoœci serca
Miliony ludzi na ca³ym œwiecie cierpi¹ na niewydolnoœæ serca zdusznoœci¹, obrzêkami i pogorszeniem tolerancji wysi³ku fizycznego. W niektórych przypadkach schorzenie to jest nastêpstwem przebytego zawa³u serca, natomiast w wielu jest przyczyn¹ wywo³uj¹c¹ dalsze choroby np. kardiomiopatiê. Szacunkowo oblicza siê,¿e ponad 15 milionów ludzi na œwiecie cierpi na niewydolnoœæ serca. Liczba pacjentów z niewydolnoœci¹ potroi³a siê w ci¹gu ostatnich kilku dekad. Epidemiczne rozprzestrzenianie siê tej choroby wynika w du¿ej mierze z faktu, i¿ jej przyczyny s¹ do tej pory nieznane lub zosta³y niewystarczaj¹co poznane.
Medycyna konwencjonalna ogranicza siê g³ównie do leczenia objawów niewydolnoœci serca. Stosowane w terapii farmakologicznej leki moczopêdne tzw. diuretyki powoduj¹ zwiêkszone wydalanie wody z organizmu pacjenta, zbieraj¹cej siê na skutek os³abionej pracy serca. Jednoczeœnie z wod¹ wydalane s¹ zwiêkszone iloœci wa¿nych ¿yciowo mikroelementów, takich jak: sód,czy potas. Wci¹¿ niewystarczaj¹ce zrozumienie przyczyn niewydolnoœci serca t³umaczy niepomyœlne rokowania tej choroby – po up³ywie piêciu latach od momentu zdiagnozowania ipojawienia siê jej pierwszych objawów nadal ¿yje tylko 50% pacjentów. Dla chorych ostatni¹ nadziej¹ jest przeszczep serca, lecz uwiêkszoœci z nich postêpuj¹ca choroba doprowadza do przedwczesnej œmierci.
Medycyna komórkowa stanowi prze³om w rozumieniu przyczyn, zapobieganiu oraz terapii wspomagaj¹cej niewydolnoœci serca. Najczêstsz¹ przyczyn¹ choroby lub pogorszenia jej symptomów jest niedobór witamin i innych naturalnych sk³adników od¿ywczych w komórkach serca. W³aœnie ten niedobór bioenergii wmilionach komórek miêœnia sercowego os³abia funkcjê pompuj¹c¹ serca i prowadzi do upoœledzonego zaopatrzenia organizmu w tlen i substancje od¿ywcze. A jakie s¹ tego nastêpstwa (?) – krótki oddech, obrzêki i znaczne upoœledzenie wydolnoœci fizycznej.
G³ówna przyczyna
Brak witamin i innych komórkowych sk³adników od¿ywczych
Podstawowe sposoby zapobiegania i korygowania
Optymalny dzienny dodatek komórkowych sk³adników od¿ywczych: –witamina C
–koenzym Q-10
–karnityna
–magnez
Uzupe³nia
Za s³aba kontrakcja milionów komórek miêœnia sercowego
Funkcja prawid³owa Funkcja upoœledzona
Pomaga zapobiegaæ i korygowaæ
Pogorszone pompowanie krwi
Pomaga zapobiegaæ i korygowaæ
Niewydolnoœæ serca: sp³ycenie oddechu, obrzêki izmêczenie
Pomaga zapobiegaæ
Komórkowe sk³adniki od¿ywcze przy niewydolnoœci serca
Moje zalecenia przy naturalnej profilaktyce niewydolnoœci serca dotycz¹ szeregu witamin i innych komórkowych sk³adników od¿ywczych, które stanowi¹ potencja³ bioenergetyczny dla metabolizmu komórkowego. Ich udokumentowane dzia³anie pomaga poprawiæ wydajnoœæ pracy serca a tym samym zredukowaæ jego niewydolnoœæ.
Badania naukowe i kliniczne potwierdzi³y ju¿ szczególne znaczenie karnityny, koenzymu Q-10 i innych niezbêdnych sk³adników od¿ywczych w polepszaniu funkcjonowania miêœnia sercowego a szczególnie w zwiêkszaniu si³y skurczu serca.
Moje zalecenia dla pacjentów z niewydolnoœci¹ serca: zacznijcie jak najszybciej stosowanie w dziennej diecie dodatku komórkowych sk³adników od¿ywczych i poinformujcie o tym swojego lekarza. Realizujcie naturaln¹ terapiê wspomagaj¹c¹, nie odstawiaj¹c i nie zmieniaj¹c swych dotychczasowych leków bez konsultacji z lekarzem.
Lepiej zapobiegaæ ni¿ leczyæ. Skutecznoœæ dzia³ania komórkowych sk³adników od¿ywczych u pacjentów z niewydolnoœci¹ serca oparta jest na dop³ywie optymalnej iloœci „paliwa komórkowego” do milionów komórek miêœnia sercowego. Ka¿dy sercowo–naczyniowy program zdrowotny, który jest w stanie polepszyæ w sposób naturalny niewydolnoœæ serca jest najlepszym wyborem,jakiego mo¿esz dokonaæ, aby skutecznie zapobiec chorobie.
www.bodyxq.org. Za pomoc¹ tego unikalnego programu edukacyjnego, mo¿liwe jest interaktywne badanie funkcji mikroelementów w zapobieganiu niewydolnoœci serca. Ka¿dy mo¿e odbyæ "podró¿ w g³¹b organizmu" w dowolnym miejscu i czasie, aby zrozumieæ przyczyny powstawania chorób na poziomie komórkowym.
Niewystarczaj¹ca iloœæ mikrosk³adników od¿ywczych prowadzi do niedoboru bioenergii w miliardach komórek miêœnia sercowego i przyczynia siê do jego niewydolnoœci miêœnia sercowego.
Dostarczanie mikrosk³adników od¿ywczych eliminuje brak bioenergii w komórkach miêœnia sercowego, wspiera funkcjê pompowania serca i przyczynia siê do eliminacji jego niewydolnoœci.
www.bodyxq.org -> Diorama Serce -> Niewydolność serca
Skupienie siê medycyny konwencjonalnej przez dziesiêciolecia na lekach moczopêdnych i innych farmaceutykach zorientowanych na objawy uniemo¿liwia³o odkrycie prawdziwej przyczyny niewydolnoœci serca. Ponadto, konwencjonalne leczenie pacjentów z niewydolnoœci¹ serca pokazuje, w jaki sposób brak zrozumienia podstawowej przyczyny choroby prowadzi do b³êdnego ko³a, w którym œrodki terapeutyczne pogarszaj¹ jeszcze problem zdrowotny.
Dzisiaj wiemy, ¿e niewydolnoœæ serca w wielu wypadkach spowodowana zosta³a przez chroniczny niedobór witamin i innych substancji od¿ywczych w milionach komórek miêœnia sercowego. Ten niedobór prowadzi do os³abienia funkcji serca jako pompy, relatywnie niskiego ciœnienia têtniczego, pogorszonego ukrwienia organów i braku pokrycia aktualnych potrzeb metabolicznych ustroju. Dochodzi do upoœledzenia funkcji nerek, których zadaniem jest filtracja nadmiaru wody ustrojowej z krwi do moczu. Ten proces jest zale¿ny od optymalnego ciœnienia krwi, tak wiêc przy niskim ciœnieniu, z jakim mamy do czynienia w przypadku niewydolnoœci serca, dochodzi do zatrzymania wody w tkankach – tzw. przewodnienia organizmu.
Aby zlikwidowaæ obrzêki, lekarze przepisuj¹ leki moczopêdne. Uruchamia to b³êdne ko³o: diuretyki usuwaj¹ z organizmu witaminy rozpuszczalne w wodzie, takie jak witaminy C i B oraz wa¿ne minera³y i pierwiastki œladowe. Poniewa¿ niedobór witamin jest ju¿ g³ówn¹ przyczyn¹ niewydolnoœci serca, stosowana terapia odwadniaj¹ca przyczynia siê tylko do dalszego pogorszenia tego stanu.
Teraz rozumiemy, dlaczego rokowanie w niewydolnoœci serca jest tak niepomyœlne i dlaczego tylko po³owa pacjentów ze zdiagnozowan¹ chorob¹ ¿yje d³u¿ej ni¿ piêæ lat. Jedno nie ulega w¹tpliwoœci – w przypadku prowadzenia terapii farmakologicznej zlekami odwadniaj¹cymi, bardzo istotne jest dzienne uzupe³nianie diety dodatkiem komórkowych sk³adników od¿ywczych. Ka¿dy pacjent z niewydolnoœci¹ serca powinien porozmawiaæ ze swoim lekarzem o tych odkryciach. Odpowiedzialny lekarz poprze program niezbêdnych sk³adników od¿ywczych.
Niedobór witamin jest g³ówn¹ przyczyn¹ niewydolnoœci serca
Niskie ciœnienie krwi
Dalszy ubytek witamin iinnych faktorów komórkowych
Serce pompuje coraz gorzej
Diuretyki wyp³ukuj¹
zustroju równie¿ witaminy i minera³y
S³aba filtracja wody ustrojowej z krwi do moczu
Zatrzymanie wody
worganizmie
• obrzêki nóg
• krótki oddech
Przepisywanie leków moczopêdnych
Œmiertelna spirala: leczenie niewydolnoœci serca bez jednoczesnego uzupe³niania
komórkowymi sk³adnikami od¿ywczymi jest leczeniem niekompleksowym
O poprawie zdrowia innej pacjentki z niewydolnoœci¹ serca, Joey B., by³a nawet mowa w „Wieczornych wiadomoœciach CBS” („CBS Evening News”) w Memphis, w stanie Tennessee.
W wieku 21 lat, u Joey nagle rozwinê³a siê ostra forma niewydolnoœci serca. Hospitalizowano j¹ z diagnoz¹ kardiomiopatii. Nied³ugo potem przeprowadzono transplantacjê, dziêki której otrzyma³a nowe serce. Po czterech latach, „nowe” serce Joey sta³o siê tak s³abe, ¿e lekarze zaproponowali drug¹ operacjê przeszczepu serca. W ten oto sposób, dawna stewardesa w wieku 25 lat znalaz³a siê znowu na liœcie oczekuj¹cych na transplantacjê i czeka³a na trzecie z kolei serce. W tym prze³omowym momencie ¿ycia, Joey dowiedzia³a siê omoich odkryciach z dziedziny medycyny komórkowej izaczê³a uzupe³niaæ dzienn¹ dietê komórkowymi sk³adnikami od¿ywczymi. Po szeœciu miesi¹cach kardiolodzy zweryfikowali koniecznoœæ drugiego przeszczepu. Ku ich zdziwieniu okaza³o siê, i¿ stan serca Joey na tyle siê poprawi³, ¿e kolejny przeszczep nie by³ potrzebny.
Komórkowa bioenergia zastêpuje transplantacjê serca ¯aden zabieg medyczny nie by³ œwiêtowany tak jak pierwsza operacja przeszczepu serca, dokonana przez po³udniowoafrykañskiego lekarza – dra Christiana Barnarda. Dzisiaj, kilka dekad póŸniej, rozumiemy ju¿, ¿e leczenie niewydolnoœci serca nie polega na wymianie organu, lecz na „dotankowaniu” bioenergii dla milionów komórek miêœnia sercowego, za pomoc¹ sk³adników od¿ywczych.
W licznych niezale¿nych badaniach klinicznych udowodniono, ¿e okreœlony zestaw zalecanych przeze mnie komórkowych sk³adników od¿ywczych w znacznym stopniu pomaga pacjentom przy obrzêkach, skróconym oddechu i innych symptomach zwi¹zanych z niewydolnoœci¹ serca.
Poprawa zdrowia pacjentów z niewydolnoœci¹ serca przez stosowanie komórkowych sk³adników od¿ywczych
• poprawione pompuj¹ce dzia³anie serca
•normalizacja powiêkszonych komór serca
•ograniczenie sp³ycenia oddechu
•mniej obrzêków
•poprawiona kondycja fizyczna
•znacz¹co d³u¿sza œrednia ¿ycia
Mikrosk³adniki od¿ywcze z powodzeniem przetestowane u pacjentów z niewydolnoœci¹ serca:
•koenzym Q-10
•witamina B1
•karnityna
•witamina D
•kompleks multiwitamin
Tabela na nastêpnej stronie podsumowuje te badania kliniczne. Nazwisko pierwszego autora publikacji umo¿liwia odnalezienie badania poprzez bibliografiê w za³¹czniku.
Przebadane komórkowe
sk³adniki od¿ywcze Naukowcy
koenzym Q-10 Folkers z Lansjoen
“
karnityna
witamina B1
witamina D
Multivitamin-Komplex
Sharma
Mortensen
Rizos z Ghidini
Shimon
Witte (2016)
Witte (2005)
Moje zalecenia dla pacjentów cierpi¹cych na skrócony oddech, obrzêki i chroniczne upoœledzenie aktywnoœci fizycznej – w uzupe³nieniu programu podstawowego, przyjmujcie dziennie podwy¿szone dawki nastêpuj¹cych komórkowych sk³adników od¿ywczych:
• witamina C: dostawca energii dla metabolizmu ka¿dej komórki, „³aduje” moleku³y transportowe witamin grupyB niezbêdn¹ ¿yciowo bioenergi¹
• witamina E: przeciwutleniacz, zapewnia ochronê b³on komórkowych
• witaminy B1, B2, B3, B5, B6, B12 i biotyna: noœniki bioenergii metabolizmu komórkowego, zw³aszcza dla komórek miêœnia sercowego – poprawiona praca serca,pompowanie serca, podwy¿szona wytrzyma³oœæ fizyczna
• koenzym Q-10: najwa¿niejszy element „³añcucha oddechowego” ka¿dej komórki; odgrywa szczególn¹ rolê w pracy miêœnia sercowego z powodu du¿ego zapotrzebowania komórek miêœnia sercowego na bioenergiê
• karnityna: wspomaga dostarczanie bioenergii do „elektrowni” (mitochondriów) milionów komórek
• tauryna: naturalny aminokwas, którego brak wkomórkach miêœnia sercowego jest czêst¹ przyczyn¹ niewydolnoœci serca
Poproszê trochê benzyny. Nie, Panu potrzebny jest nowy silnik!
Nonsens terapii konwencjonalnej przy niewydolnoœci serca zobrazowany zosta³ w tym oto krótkim komiksie: „Leczenie” niewydolnoœci serca spowodowanej brakiem „paliwa komórkowe go” za pomoc¹ transplantacji serca jest podobne do wymiany silnika samochodu w sytuacji, gdy skoñczy³o siê paliwo.
Komórkowe sk³adniki od¿ywcze w zapobieganiu i terapii wspomagaj¹cej
•Zaburzenia rytmu i przewodnictwa serca – prze³om medycyny komórkowej
•Badania kliniczne z wybranymi komórkowymi sk³adnikami od¿ywczymi przy arytmii
•Wykaz specjalnych komórkowych sk³adników od¿ywczych przy arytmii
•Na ca³ym œwiecie ponad 100 milionów ludzi cierpi na arytmiê serca. U pod³o¿a tej choroby le¿¹ zaburzenia w wytwarzaniu lub przewodzeniu impulsu elektrycznego, odpowiedzialnego za regularny rytm serca. W niektórych przypadkach zaburzenia te s¹ wywo³ane przez uszkodzony obszar miêœnia sercowego, na przyk³ad po zawale serca. Jednak w wiêkszoœci przypadków przyczyny arytmii pozostaj¹ nieznane i w diagnozowaniu choroby stosuje siê ogólne pojêcie: „napadowych zaburzeñ rytmu serca”.
•Medycyna konwencjonalna ogranicza siê jedynie do ³agodzenia symptomów choroby. Leczenie objawowe obejmuje leki antyarytmiczne, takie jak: beta-blokery, antagoniœci wapnia i inne. Jednak stosowanie wymienionych leków farmakologicznych czêsto zwi¹zane jest ze zwiêkszonym ryzykiem wyst¹pienia nowych, ostrych form arytmii oraz licznych dzia³añ ubocznych. Przy blokadzie impulsów z wêz³a zatokowo – przedsionkowego lub wytwarzaniu impulsów z woln¹ czêstotliwoœci¹, pracê serca dodatkowo wspomaga siê przy pomocy sztucznego rozrusznika.
W innych przypadkach stosuje siê czêsto kauteryzacjê, czyli elektryczne wypalanie czêœci miêœnia sercowego w celu eliminacji nieskoordynowanych impulsów elektrycznych.
•Nowoczesna medycyna komórkowa stanowi prze³om w badaniu przyczyn tej cywilizacyjnej choroby, umo¿liwia naturaln¹ prewencjê i stanowi bezpieczn¹ terapiê wspomagaj¹c¹. Wyst¹pienie symptomów arytmii zwi¹zane jest przede wszystkim z deficytem bioenergii w komórkach w³ókien miêœnia sercowego, odpowiedzialnych za generowanie impulsów elektrycznych i bicie serca. Niedobór komórkowych sk³adników od¿ywczych w milionach „elektrycznych” komórek prowadzi do zak³óceñ w tworzeniu i przewodzeniu impulsów elektrycznych i zak³óceñ rytmu serca. Komórkowe sk³adniki od¿ywcze przyczyniaj¹ siê zatem do zapobiegania arytmii i normalizacji nieregularnego bicia serca.
Niedobór witamin i innych sk³adników od¿ywczych
Nieprawid³owy impuls elektryczny
Podstawowe sposoby zapobiegania i korygowania
Optymalne dostarczanie niezbêdnych sk³adników od¿ywczych w diecie:
– witamina C
– koenzym Q-10
– magnez
– karnityna
Uzupe³nia
zbyt s³aby skurcz milionów komórek miêœnia sercowego
Pomaga zapobiegaæ i korygowaæ
Zaburzenie funkcjonowania systemu generowania i przewodzenia
Zaburzenia rytmu i przewodnictwa serca
Pomaga zapobiegaæ i korygowaæ
Pomaga zapobiegaæ
Komórkowe sk³adniki od¿ywcze w zaburzeniach rytmu i przewodnictwa serca
• Liczne przeprowadzone badania naukowe i kliniczne potwierdzi³y ju¿ znaczenie magnezu, karnityny, koenzymu Q-10 we wspomaganiu procesu normalizacji ró¿nych form arytmii i poprawie jakoœci ¿ycia pacjentów.
• Moje zalecenia dla pacjentów cierpi¹cych na arytmiê: rozpocznijcie jak najszybciej stosowanie w dziennej diecie dodatku komórkowych sk³adników od¿ywczych oraz poinformujcie prowadz¹cego lekarza. Nie zmieniajcie samowolnie prowadzonej terapii farmakologicznej, bo szczególnie przy zaburzeniach rytmu serca mo¿e to doprowadziæ do powa¿nych konsekwencji. W przypadku, gdy Twoja choroba uwarunkowana zosta³a niedoborem sk³adników energetycznych, mo¿esz liczyæ na relatywnie szybk¹ poprawê zdrowia stosuj¹c dodatek sk³adników od¿ywczych.
• Lepiej zapobiegaæ ni¿ leczyæ. Ka¿dy sercowo – naczyniowy program zdrowotny, który jest w stanie skorygowaæ w sposób naturalny zaburzenia rytmu i przewodnictwa serca, jest równie¿ najlepsz¹ drog¹ do sukcesu w profilaktyce chorobowej.
pomagaj¹ w przypadku zaburzeñ rytmu serca
www.bodyxq.org. Za pomoc¹ tego unikalnego programu edukacyjnego, mo¿liwe jest interaktywne badanie funkcji mikroelementów w zapobieganiu arytmii. W szkole lub w domowym zaciszu mo¿esz wybraæ siê na wycieczkê w g³¹b elektrowni komórkowych (mitochondriów) poznaj¹c przy tym g³ówne przyczyny powstawania arytmii serca.
Interaktywna edukacja:
Deficyt mikrosk³adników od¿ywczych prowadzi do niedoboru bioenergii w mitochondriach miliardów komórek miêœnia sercowego, które s¹ odpowiedzialne za przewodzenie bodŸców elektrycznych i regularne bicie serca. D³ugotrwa³y niedobór prowadzi do arytmii serca.
Dostarczanie mikrosk³adników eliminuje brak bioenergii w mitochondriach komórek miêœni serca i pomaga zapobiegaæ arytmii.
Badanie kliniczne randomizowane, przeprowadzone metod¹ podwójnie œlepej próby, z u¿yciem placebo potwierdza: komórkowe sk³adniki od¿ywcze mog¹ usun¹æ
zaburzenia rytmu i przewodzenia serca!
A¿ do dzisiaj medycyna konwencjonalna nie uznaje faktu, ¿e zaburzenia rytmu i przewodzenia serca wywo³ane s¹ niedoborem sk³adników od¿ywczych w komórkach miêœnia sercowego.
W wiod¹cym podrêczniku kardiologii Eugene’a Braunwalda pt. Choroby serca – podrêcznik kardiologii (Heart Disease-A Textbook of Cardiovascular Medicine) znajdujemy godne uwagi wyznanie jednego z wybitnych kardiologów, stosuj¹cych konwencjonalne metody leczenia: „Wa¿ne jest, aby uœwiadomiæ sobie, ¿e nasze obecne narzêdzia diagnostyczne nie pozwalaj¹ nam na okreœlenie mechanizmów odpowiedzialnych za wiêkszoœæ arytmii.”
To publiczne og³oszenie „kapitulacji”, zorientowanych farmaceutycznie terapeutów, staje siê wyzwaniem do jak najszybszego rozwi¹zania zagadki przyczyny zaburzeñ rytmu serca.
Z tego powodu przeprowadziliœmy badanie kliniczne z wybranymi komórkowymi sk³adnikami od¿ywczymi u pacjentów z arytmi¹. Naukowe znaczenie i wiarygodnoœæ wyników tego badania s¹ nie do podwa¿enia, poniewa¿ zosta³o ono przeprowadzone metod¹ podwójnie œlepej próby z wykorzystaniem placebo. Taki sam rodzaj badania musz¹ przeprowadziæ firmy farmaceutyczne, aby uzyskaæ zezwolenie na swoje leki. Opis ca³ego badania mo¿na obejrzeæ na naszej stronie internetowej www.dr-rath-research.org.
W badaniu tym bra³o udzia³ 131 pacjentów cierpi¹cych na zaburzenia rytmu serca. Podzielono ich na dwie grupy. Jedna grupa otrzymywa³a wybrane sk³adniki od¿ywcze, druga zaœ otrzymywa³a placebo, czyli terapeutycznie nieaktywn¹ substancjê. Obie grupy kontynuowa³y w dalszym ci¹gu konwencjonaln¹ terapiê lekow¹. Badanie by³o prowadzone przez okres szeœciu miesiêcy.
Komórkowe sk³adniki od¿ywcze zmniejszaj¹ zaburzenia rytmu i przewodnictwa serca
100 Procent pacjentów
50
74% 48%
Badanie kliniczne dowodzi: komórkowe sk³adniki od¿ywcze mog¹ skutecznie redukowaæ zaburzenia rytmu serca ( wyniki istotne statystycznie, wartoœæ p<0,01). Oko³o 74% pacjentów za¿ywaj¹cych tylko leki farmaceutyczne (kolor niebieski) nadal cierpia³o na czêste epizody arytmii. U pacjentów stosuj¹cych mój program sk³adników od¿ywczych jako dodatek do swych dotychczasowych leków, epizody te ust¹pi³y w po³owie przypadków (48%).
Wyniki badania pokaza³y, ¿e mój program sk³adników od¿ywczych
mo¿e:
1. zredukowaæ czas trwania epizodów arytmii o 30%.
2. w sposób ci¹g³y zmniejszaæ liczbê epizodów zaburzeñ rytmu serca w trakcie prowadzonej terapii ze sk³adnikami od¿ywczymi.
3. podwoiæ szanse ca³kowitego wyeliminowania arytmii u pacjenta.
Komórkowe sk³adniki od¿ywcze wp³ywaj¹ na poprawê zdrowia fizycznego i psychicznego u pacjentów cierpi¹cych na arytmiê.
Stan zdrowia fizycznego i psychicznego zosta³ udokumentowany przy pomocy miêdzynarodowego systemu klasyfikacyjnego. Wartoœci pozytywne oznaczaj¹ poprawê zdrowia, a wartoœci negatywne oznaczaj¹ pogorszenie stanu zdrowia. U pacjentów przyjmuj¹cych dodatek komórkowych sk³adników od¿ywczych (czerwony s³upek) nast¹pi³a wyraŸna poprawa sprawnoœci fizycznej i umys³owej, w porównaniu do pacjentów przyjmuj¹cych tylko lekarstwa (czarny s³upek), których stan siê pogorszy³.
W przeprowadzonym badaniu zajêliœmy siê jeszcze jednym, bardzo wa¿nym aspektem: korzyœciami fizycznymi i psychicznymi pacjentów, wynikaj¹cymi ze stosowania programu sk³adników od¿ywczych. Uczestnicy otrzymali do wype³nienia obszerny kwestionariusz na pocz¹tku i koñcu badania, uwzglêdniaj¹cy pytania dotycz¹ce fizycznego i psychicznego stanu zdrowia. Uzyskane dane zosta³y oszacowane przy u¿yciu komputerowego systemu klasyfikacyjnego w oparciu o miêdzynarodowe standardy. Pytania dotycz¹ce zdrowia fizycznego ocenia³y miêdzy innymi stopieñ dyskomfortu w trakcie epizodów arytmii i zdolnoœæ pacjentów do wykonywania codziennych obowi¹zków. Wœród pytañ dotycz¹cych
100
zdrowia psychicznego znajdowa³y siê te nawi¹zuj¹ce do stanu emocjonalnego uczestników np. lêku przed dysfunkcj¹ serca, jak równie¿ zwi¹zan¹ z tym depresj¹.
Wyniki by³y nadzwyczajne. Pacjenci realizuj¹cy mój komórkowy program sk³adników od¿ywczych przewy¿szali pacjentów przyjmuj¹cych placebo nie tylko pod wzglêdem poprawy zdrowia fizycznego, ale równie¿ samopoczucia i sprawnoœci umys³owej.
Dlaczego arytmie wystêpuj¹ szczególnie czêsto u m³odych kobiet w okresie rozrodczym?
Jednym z nierozwi¹zanych problemów kardiologii jest fenomen czêstego wystêpowania zaburzeñ rytmu i przewodnictwa serca u m³odych kobiet w okresie rozrodczym.
Bez zrozumienia podstawowej przyczyny arytmii u m³odych kobiet, przepisuje siê im czêsto leki antyarytmiczne o znanych powa¿nych dzia³aniach ubocznych, ³¹cznie z pog³êbieniem siê choroby i wywo³ywaniem jeszcze wiêkszej iloœci epizodów.
Niewybaczalnym b³êdem zorientowanej na farmaceutyki kardiologii jest fakt zaniedbania przez niemal stulecie gruntownej analizy zjawiska, wp³ywaj¹cego na ¿ycie milionów m³odych kobiet.
Prze³om, jakiego dokona³a medycyna komórkowa dostarcza natychmiastowej i oczywistej odpowiedzi na tê medyczn¹ zagadkê. W okresie rozrodczym ka¿da kobieta traci znacz¹c¹ iloœæ krwi w trakcie cyklu miesi¹czkowego. Ale traci ona nie tylko krew, lecz tak¿e jej czêœci sk³adowe, w tym witaminy, minera³y i inne niezbêdne sk³adniki od¿ywcze, potrzebne do prawid³owego metabolizmu komórkowego w poszczególnych organach.
Na czele komórek, szczególnie dotkniêtych niedoborem sk³adników od¿ywczych, stoj¹ „elektryczne” komórki miêœnia sercowego, odpowiedzialne za wytwarzanie i przewodzenie impulsu elektrycznego dla regularnego bicia serca. Dlatego alternatywn¹ metod¹ zapobiegania i leczenia arytmii, zw³aszcza u m³odych kobiet, jest codzienne wzbogacanie diety w komórkowe sk³adniki od¿ywcze.
sk³adnikami od¿ywczymi w arytmii
O wp³ywie komórkowych sk³adników od¿ywczych na sukcesy zdrowotne pacjentów z zaburzeniami rytmu serca œwiadcz¹ licznie przeprowadzone badania kliniczne. Poni¿sza tabela ukazuje najwa¿niejsze z nich: lewa kolumna przedstawia testowany sk³adnik od¿ywczy, prawa zaœ – autora badañ (patrz: spis literatury).
Przebadane sk³adniki od¿ywcze Naukowcy
magnez England “ Turlapaty “ Davey
karnityna Rizzon
witamina C Korantzopoulos
N-acetylocysteina Gu
kwasy tłuszczowe Omega-3 Kumar
produkt multiwitaminowy Guo
Moje zalecenia dla pacjentów cierpi¹cych na skrócony oddech, obrzêki i chroniczne upoœledzenie aktywnoœci fizycznej – w uzupe³nieniu programu podstawowego, przyjmujcie dziennie podwy¿szone dawki nastêpuj¹cych komórkowych sk³adników od¿ywczych:
witamina C: dostawca energii dla metabolizmu ka¿dej komórki, „³aduje” moleku³y transportowe witamin grupy B niezbêdn¹ ¿yciowo bioenergi¹;
witaminy B1, B2, B3, B5, B6, B12 i biotyna: noœniki bioenergii metabolizmu komórkowego, zw³aszcza do „elektrycznych” komórek miêœnia sercowego, odpowiedzialnych za wytwarzanie i przewodzenie impulsu elektrycznego, potrzebnego dla normalnego bicia serca;
koenzym Q-10: najwa¿niejszy element „³añcucha oddechowego” ka¿dej komórki; odgrywa szczególn¹ rolê w metabolizmie energii komórek miêœnia sercowego;
karnityna: przyczynia siê do efektywnego u¿ytkowania bioenergii komórkowej w „elektrowniach” (mitochondriach) milionów komórek miêœnia sercowego;
magnez i wapñ: potrzebne, wraz z potasem, dla optymalnego przewodzenia impulsów elektrycznych w trakcie elektromotorycznego cyklu uderzenia serca.
Komórkowe sk³adniki od¿ywcze w zapobieganiu i terapii wspomagaj¹cej
•Dlaczego cukrzyca prowadzi do choroby sercowo–naczyniowej
•Wykaz specjalnych komórkowych sk³adników od¿ywczych przy cukrzycy
•Dodatkowe informacje na temat komórkowych sk³adników od¿ywczych przy cukrzycy
•Kliniczny dowód: witamina C obni¿a poziom cukru we krwi i zapotrzebowanie na insulinê
•Na ca³ym œwiecie, ponad 100 milionów ludzi cierpi na cukrzycê. Tylko w samych Niemczech liczba diabetyków przekroczy³a milion. Do najczêstszych powik³añ cukrzycy dochodzi ze strony uk³adu kr¹¿enia, tak wiêc przy zaburzeniach metabolizmu cukrów: zawa³y serca, udary mózgu i inne schorzenia sercowo–naczyniowe nie nale¿¹ do rzadkoœci. Wyró¿nia siê dwa typy cukrzycy: typ I – tzw. cukrzyca wrodzona (zwana równie¿ m³odzieñcz¹ lub insulinozale¿n¹) i typ II – cukrzyca nabyta (doros³ych lub insulinoniezale¿na). Cukrzyca m³odzieñcza jest w du¿ym stopniu wywo³ywana przez defekt genetyczny, który prowadzi do niewystarczaj¹cej produkcji insuliny w trzustce i wymaga regularnych zastrzyków insulinowych. W przeciwieñstwie do tego typu, czynniki wywo³uj¹ce zaburzenia przemiany cukrów u doros³ych (wtypie II) s¹ do tej pory nieznane. Nic wiêc dziwnego, ¿e cukrzyca jest jeszcze jedn¹ chorob¹ rozwijaj¹c¹ siê wci¹¿ na skalê œwiatow¹.
•Medycyna konwencjonalna ogranicza siê zasadniczo do leczenia objawów cukrzycy obni¿aj¹c podniesiony poziom cukru we krwi. Jednak choroba sercowo-naczyniowa i inne powik³ania cukrzycowe wystêpuj¹ czêsto nawet u pacjentów z kontrolowanym poziomem cukru we krwi. Obni¿anie poziomu cukru we krwi jest koniecznym, ale niewystarczaj¹cym sposobem leczenia zaburzeñ cukrzycowych. Bez poznania czynników wywo³uj¹cych chorobê nigdy nie bêdzie mo¿liwa skuteczna profilaktyka i leczenie cukrzycy.
•Nowoczesna medycyna komórkowa stanowi prze³om wnaszym rozumieniu przyczyn, w zapobieganiu i terapii pomocniczej przy cukrzycy doros³ych. Nieprawid³owy metabolizm cukrów jest czêsto skutkiem chronicznego niedoboru witamin iinnych
sk³adników od¿ywczych w milionach komórek trzustki, odpowiedzialnych za produkcjê insuliny. Niedostateczne zaopatrzenie komórek trzustki idzie w parze z niedoborem komórkowych
sk³adników od¿ywczych w œcianach arterii iinnych organach. W przypadku wrodzonych zaburzeñ metabolicznych, chroniczny deficyt komórkowych sk³adników od¿ywczych uru-
G³ówna przyczyna
Niedobór witamin i innych
komórkowych sk³adników od¿ywczych
Podstawowe sposoby zapobiegania i korygowania
Optymalne dostarczanie niezbêdnych sk³adników
od¿ywczych w diecie:
– witamina C
– witamina E
– witaminy z grupy B
– pierwiastki œladowe
Uzupe³nia
Komórki œcian naczyñ krwionoœnych
Pogrubiona œciana naczynia
Komórki trzustki iw¹troby
Pomaga zapobiegaæ i
korygowaæ
Choroba
sercowo-naczyniowa upacjentów chorych na cukrzycê
Metabolizm cukrzycowy
Wzrastaj¹cy poziom cukru we krwi
–niewydolnoœæ nerek –gangrena –œlepota –zawa³y serca –udary mózgu
Komórkowe sk³adniki od¿ywcze przy cukrzycy
Pomaga zapobiegaæ i
korygowaæ
Pomaga zapobiegaæ
chamia nieprawid³owoœci w metabolizmie wêglowodanów iwywo³uje przewlek³¹ chorobê metaboliczn¹, czyli cukrzycê.
•Komórkowe sk³adniki od¿ywcze zapobiegaj¹ zaburzeniom metabolicznym, a tym samym rozwojowi choroby. Badania naukowe i kliniczne potwierdzi³y szczególne znaczenie witaminy C, witaminy E, niektórych witamin z grupy B, chromu iinnych niezbêdnych sk³adników od¿ywczych w profilaktyce ileczeniu wspomagaj¹cym cukrzycy i jej powik³añ.
•Moje zalecenia dla pacjentów cierpi¹cych na cukrzycê: Rozpocznijcie jak najszybciej naturaln¹ terapiê zzastosowaniem komórkowych sk³adników od¿ywczych i poinformujcie o tym swojego lekarza. Przyjmujcie regularnie niezbêdne sk³adniki od¿ywcze jako dodatek do swych leków cukrzycowych. Nie odstawiajcie ani nie zmieniajcie ¿adnych przepisanych lekarstw bez konsultacji z lekarzem. Du¿e iloœci witaminy C mog¹ zmniejszyæ zapotrzebowanie na insulinê, dlatego od momentu rozpoczêcia naturalnej terapii powinno siê przeprowadzaæ czêste kontrole poziomu cukru we krwi, by zapobiec hipoglikemii.
•Lepiej zapobiegaæ ni¿ leczyæ. Skutecznoœæ dzia³ania komórkowych sk³adników od¿ywczych u pacjentów z cukrzyc¹ bazuje na eliminacji niedoboru biologicznego „paliwa” w milionach komórek beta wysepek Langerhansa w trzustce, w¹trobie i œcianach naczyñ krwionoœnych. Naturalny program sercowo–naczyniowy, który koryguje takie choroby jak cukrzyca i jej powik³ania jest najlepszym wyborem, jakiego mo¿esz dokonaæ, aby skutecznie zapobiec chorobie.
Moje zalecenia dla diabetyków: w uzupe³nieniu programupodstawowego przyjmujcie dziennie podwy¿szone dawki nastêpuj¹cych komórkowych sk³adników od¿ywczych:
• witamina C: koryguje zaburzenia równowagi wkomórkach wywo³ane przez podniesiony poziom cukru we krwi,pomaga obni¿yæ zapotrzebowanie na insulinê, stabilizuje ichroni œciany arterii;
• witamina E: przeciwutleniacz, zapewnia ochronê b³on komórkowych;
• witaminy B1, B2, B3, B5, B6, B12 i biotyna: noœniki bioenergii metabolizmu komórkowego, poprawiaj¹ metaboliczn¹ wydajnoœæ, zw³aszcza komórek w¹troby – g³ównego oœrodka przemiany materii w organizmie;
• chrom: pierwiastek œladowy, niezbêdny biokatalizator dla optymalnego metabolizmu glukozy i insuliny;
• inozytol i cholina: sk³adniki lecytyny – wa¿nego materia³u budulcowego b³ony komórkowej. Odgrywaj¹ znacz¹c¹ rolê w metabolicznym transporcie i opty
Cukrzyca jest szczególnie z³oœliwym zaburzeniem metabolicznym. Problemy z kr¹¿eniem i zatory mog¹ pojawiæ siê praktycznie wka¿dej czêœci licz¹cego oko³o 100 000 km systemu naczyñ krwionoœnych.
Œlepota
Zawa³ serca
NiewydolnoϾ nerek
Gangrena
Powik³ania sercowo-naczyniowe mog¹ pojawiæ siê w ka¿dej czêœci organizmu osoby chorej na cukrzycê.
110
DLACZEGO ZWIERZÊTA NIE DOSTAJ¥ ZAWA£ÓW SERCA… TYLKO MY LUDZIE Udar mózguPowik³ania sercowo-naczyniowe u pacjentów chorych nacukrzycê:
• Œlepota spowodowana zamkniêciem arterii oczu
• Niewydolnoœæ nerek spowodowana zatorami naczyñ nerkowych, wymagaj¹ca sta³ych dializ
• Zamkniêcie œwiat³a arterii koñczyn dolnych, co prowadzi do obumarcia tkanek – gangreny, a w konsekwencji doamputacji
• Zawa³y serca spowodowane zatorami naczyñ wieñcowych
• Udary mózgu spowodowane zatorami naczyñ mózgowych
Pomy³kowa zamiana moleku³y witaminy C i glukozy jest przyczyn¹ choroby sercowo–naczyniowej o pod³o¿u cukrzycowym.
Kluczem do zrozumienia naczyniowych komplikacji przy cukrzycy jest podobieñstwo struktury molekularnej witaminy C i glukozy. Konsekwencje metabolicznej zamiany tych dwóch moleku³ s¹ katastrofalne.
Przebieg procesu zamiany na poziomie komórkowym zosta³ podsumowany w nastêpnych rozdzia³ach.
Witamina C Glukoza
Moleku³y witaminy C i cukru (glukozy) s¹ podobne w swojej strukturze.
Kolumna A ukazuje sytuacjê metaboliczn¹ u zdrowego cz³owieka. Komórki œródb³onka tworz¹ce b³onê wewnêtrzn¹ naczynia (endothelium) zawieraj¹ liczne biologiczne „pompy”, wyspecjalizowane w transportowaniu witaminy C i cukrów z krwioobiegu. Uzdrowej osoby pompy te transportuj¹ optymaln¹ iloœæ moleku³ cukru iwitaminy C do œciany naczynia krwionoœnego, zapewniaj¹c prawid³ow¹ pracê tej œciany i zapobiegaj¹c chorobie sercowo-naczyniowej.
Kolumna B pokazuje sytuacjê pacjenta z cukrzyc¹. Z powodu wysokiego stê¿enia cukru we krwi, „pompy” komórkowe s¹ prze³adowane moleku³ami cukru i automatycznie wypieraj¹ moleku³y witaminy C. Skutki tego mechanizmu u diabetyków s¹ szczególnie niebezpieczne: z jednej strony dochodzi do nagromadzenia cukru w endothelium i ca³ej œcianie naczynia, zdrugiej zaœ do niedoboru witaminy C. W konsekwencji powoduje to chorobliwe pogrubienie œcian naczyñ na ca³ej ich d³ugoœci a nie tylko w obszarze naczyñ wieñcowych serca. Ten fakt wyjaœnia, dlaczego zaburzenia kr¹¿enia u diabetyków wystêpuj¹ praktycznie w ka¿dej czêœci cia³a, w ka¿dym organie.
Kolumna C pokazuje decyduj¹cy œrodek zapobiegawczy przy powik³aniach sercowo-naczyniowych u diabetyków. Optymalne dzienne spo¿ycie wybranych komórkowych sk³adników od¿ywczych, zw³aszcza witaminy C, pomaga przywróciæ równowagê pomiêdzy metabolizmem witamin i cukrów.
Optymalne dostarczanie witamin i innych komórkowych sk³adników od¿ywczych w dziennej diecie, stanie siê ju¿ wniedalekiej przysz³oœci podstawow¹ terapi¹ w leczeniu chorób metabolicznych, takich jak cukrzyca. Tylko od nas zale¿y jak najszybsze rozpowszechnienie tej informacji, ratuj¹cej zdrowie i ¿ycie milionów chorych.
Witamina C Cukier
A. Zdrowa osoba Równowaga pomiêdzy witamin¹ C icukrem
B. Osoba chora na cukrzycê Wysokie ryzyko
Zbyt du¿o cukru, zbyt ma³o witaminy C
C. Osoba chora na cukrzycê Niskie ryzyko
Dodatek witaminy C ustanawia równowagê
Biologiczne pompy w b³onie komórki
Konsekwencje
dla komórek œcian naczyñ
Konsekwencje
dla ca³ej œciany arterii
Zdrowy system sercowo – naczyniowy
Niedobór witamin i hiperglikemia powoduj¹ zaburzenia sercowo–naczyniowe
Brak lub nieznaczne wystêpowanie zaburzeñ sercowo–naczyniowych
Optymalne zaopatrzenie w komórkowe sk³adniki od¿ywcze zapobiega chorobie sercowo–naczyniowej przy cukrzycy.
Moje zalecenia dotycz¹ce zdrowia komórkowego przetestowaliœmy w ramach pilota¿owego badania klinicznego na 10 pacjentach z cukrzyc¹ typu II, czyli nabyt¹. U wszystkich uczestników przeprowadziliœmy regularnie badanie krwi: przed i w trakcie trwania badania – po 2-, 4- i 6 miesi¹cach, w celu pomiarów oddzia³ywania programu Zdrowia Komórkowego na poziom cukru we krwi (glukozy) i wartoœci hemoglobiny glikowanej – Hb-A1 (d³ugoterminowy wskaŸnik cukrzycy).
Po szeœciu miesi¹cach stosowania optymalnego dodatku komórkowych sk³adników od¿ywczych zaobserwowaliœmy wyraŸny spadek
Komórkowe sk³adniki od¿ywcze obni¿aj¹ poziom cukru we krwi o 23 %
23%
Pocz¹tek2 miesi¹ce4 miesi¹ce6 miesi¹ce
W trwaj¹cym szeœæ miesiêcy badaniu klinicznym, zalecenia dra Ratha dotycz¹ce zachowania zdrowia komórek, obni¿y³y poziom cukru wekrwi pacjentów chorych na cukrzycê œrednio o 23%.
œrednich wartoœci glukozy we krwi ze 155 mg/dl na pocz¹tku badania do 120 mg/dl na koñcu, co odpowiada³o 23% obni¿enia wartoœci pocz¹tkowej. Ten znacz¹cy spadek poziomu cukru osi¹gnêliœmy dziêki naturalnej metodzie, która doprowadzi³a do zrównowa¿enia zachwianych przemian metabolicznych wmilionach komórek organizmu.
Równie¿ wartoœci hemoglobiny glikowanej (wskaŸnik Hb-A1) we krwi uczestników badania obni¿y³y siê œrednio o 9,3%, w ci¹gu 6 miesiêcy.
Komórkowe sk³adniki od¿ywcze obni¿aj¹ poziom Hb A1 (d³ugoterminowy wskaŸnik cukrzycy) o prawie 10%. - 9.3%
Œredni poziom Hb-A1 we krwi pacjentów
W tym samym badaniu klinicznym, na skutek dzia³ania komórkowych sk³adników od¿ywczych, dochodzi do znacznego obni¿enia wartoœci hemoglobiny glikowanej Hb-A1 we krwi o oko³o 10%.
W ró¿norodnych badaniach klinicznych dowiedziono, ¿e obok witaminy C równie¿ inne sk³adniki od¿ywcze wywieraj¹ znacz¹cy wp³yw na metabolizm cukrów. W tabeli poni¿ej zamieœci³em wa¿niejsze z przeprowadzonych doœwiadczeñ. Lewa kolumna zawiera badan¹ substancjê od¿ywcz¹, prawa zaœ autora badania (patrz: spis literatury).
Apelujê do wszystkich pacjentów chorych na cukrzycê – rozpocznijcie jak najszybciej naturaln¹ terapiê z komórkowymi sk³adnikami od¿ywczymi i jednoczeœnie poinformujcie prowadz¹cego lekarza, prosz¹c go o dodatkowe badania poziomu cukru we krwi, przynajmniej w fazie pocz¹tkowej terapii. Zwiêkszajcie dawkê witaminy C powoli i systematycznie – zaczynaj¹c od 1 grama dziennie. Po oko³o dwóch tygodniach zwiêkszcie iloœæ do 2 gramów, a po nastêpnych dwóch do 4-5 gramów dziennie. Ta dawka odpowiada mniej wiêcej jednej ³y¿eczce witaminy C w proszku izostanie najlepiej przyswojona przez wasz organizm w formie ma³ych porcji, podawanych do posi³ków. Wasz metabolizm bardzo szybko dostosuje siê do regularnego dop³ywu dodatkowej witaminy C. G³ównym celem naturalnej terapii nie jest ca³kowita eliminacja wstrzykiwania insuliny, szczególnie w przypadku cukrzycy wrodzonej (insulinozale¿nej), ale redukcja dziennego zapotrzebowania na insulinê i ochrona Waszych arterii przed powik³aniami sercowo–naczyniowymi, tak czêstymi w przypadku zaburzeñ metabolizmu cukrów.
Przebadane komórkowe
sk³adniki od¿ywcze
Badacze
witamina C Mann, Som, Stankova, Stepp i Hirashima
witamina E
Paolisso
magnez McNair i Mather
chrom Liu i Riales
Komórkowe sk³adniki od¿ywcze w zapobieganiu i terapii wspomagaj¹cej
•przy dusznicy bolesnej
•po zawale serca
•po operacji wszczepienia bypassów
•po angioplastyce (balonikowaniu)
têtnic wieñcowych
•badania kliniczne z komórkowymi
sk³adnikami od¿ywczymi
Dusznica bolesna (Angina pectoris) jest typowym sygna³em alarmowym dla pacjentów, informuj¹cym o rozwoju z³ogów mia¿d¿ycowych w naczyniach wieñcowych i niedokrwieniu miêœnia sercowego. Dusznica bolesna objawia siê zazwyczaj ostrym, k³uj¹cym bólem w klatce piersiowej, zlokalizowanym za mostkiem, lub po lewej stronie klatki. Ból ten mo¿e promieniowaæ do lewego barku, ramienia czy ³okcia. Poniewa¿ istnieje wiele form dusznicy bolesnej, w niektórych przypadkach dolegliwoœci maj¹ charakter nietypowy. Dlatego w razie wyst¹pienia jakiegokolwiek bólu niewiadomego pochodzenia, uczucia ciê¿aru na klatce piersiowej, czy dusznoœci –radzê Ci jak najszybciej skonsultowaæ siê z lekarzem.
Komórkowe sk³adniki od¿ywcze przyczyniaj¹ siê do lepszego ukrwienia miêœnia sercowego a przez to do zmniejszenia, lub wyeliminowania dolegliwoœci dusznicy bolesnej. Synergiczne dzia³anie ró¿nych substancji od¿ywczych uruchamia nastêpuj¹ce mechanizmy:
•Poszerzenie œwiat³a têtnic wieñcowych: Dostarczenie optymalnej iloœci witaminy C i magnezu, jak równie¿ naturalnego aminokwasu argininy prowadzi do relatywnie szybkiej redukcji napiêcia œciany têtnicy i przez to do powiêkszenia przekroju naczynia. Ten mechanizm poprawia ukrwienie miêœnia sercowego i zmniejsza dolegliwoœci dusznicy.
•Usprawnione pompowanie krwi: Karnityna, koenzym Q-10, witaminy z grupy B, okreœlone minera³y i pierwiastki œladowe usprawniaj¹ dzia³anie komórek miêœnia sercowego a tym samym – pompuj¹c¹ funkcjê serca. Równie¿ ten mechanizm powoduje lepsze ukrwienie serca i redukcjê objawów dusznicy.
•Cofniêcie siê z³ogów wieñcowych: Komórkowe sk³adniki od¿ywcze, takie jak: witamina C, lizyna, czy prolina wspomagaj¹ proces gojenia uszkodzonych œcian têtnic, ich d³ugoterminowe dzia³anie przyczynia siê do redukcji z³ogów mia¿d¿ycowych i trwa³ej poprawy ukrwienia miêœnia sercowego.
Blaszki mia¿d¿ycowe w têtnicy wieñcowej zmniejszaj¹ ukrwienie
Lewa têtnica wieñcowa Niedokrwiony obszar miêœnia sercowego
1. Krok –obni¿one napiêcie œciany têtnicy wieñcowej i poprawa przep³ywu krwi (krótkotrwa³e dzia³anie)
–witamina C
–magnez
–arginina
2. Krok –usprawnione pompowanie krwi (krótkotrwa³e dzia³anie)
–karnityna
–koenzym Q-10
–witaminy z grupy B
–minera³y
–pierwiastki œladowe
3. Krok –cofniêcie siê z³ogów wieñcowych (d³ugotrwa³e dzia³anie)
–witamina C
–lizyna
–prolina
–witamina E
Do zawa³u serca dochodzi wówczas, gdy mia¿d¿yca têtnic wieñcowych jest zaawansowana na tyle, ¿e przep³ywaj¹cy przez naczynia strumieñ krwi zostaje istotnie ograniczony. D³ugotrwa³e niedokrwienie miêœnia sercowego, z jednoczesnym brakiem optymalnych dostaw tlenu i substancji od¿ywczych a tak¿e ca³kowite zamkniêcie œwiat³a naczynia wieñcowego, prowadz¹ do martwicy okreœlonego obszaru serca. Zawa³ serca jest najczêœciej nastêpstwem ciê¿kiej postaci dusznicy bolesnej i wymaga natychmiastowej pomocy lekarskiej (szpitalnej). Im szybciej choremu zostanie udzielona pierwsza pomoc, tym skuteczniej mo¿na ograniczyæ obszar trwa³ych uszkodzeñ miêœnia sercowego. W tym przypadku liczy siê ka¿da minuta!
Na skutek zawa³u serca obumieraj¹ pozbawione tlenu i substancji od¿ywczych miliony komórek miêœnia sercowego. O szansach prze¿ycia pacjentów decyduje wielkoœæ obszaru martwicy serca. Statystycznie jednak, co trzeci zawa³ powoduje ciê¿kie zaburzenia funkcji serca i jest przyczyn¹ zgonu. Chorzy, którzy go prze¿yj¹, musz¹ siê liczyæ z ciê¿kimi powik³aniami, przede wszystkim z:
• niewydolnoœci¹ serca – objawiaj¹c¹ siê miêdzy innymi: wystêpowaniem dusznoœci, obrzêków i upoœledzonej aktywnoœci fizycznej.
• zaburzeniami rytmu i przewodnictwa serca, gdy na skutek zawa³u uszkodzony zostanie system wytwarzania i przewodzenia impulsów elektrycznych.
Oddzia³ywanie zawa³u serca na organizm ludzki mo¿na porównaæ z wyeliminowaniem pracy jednego cylindra w czterocylindrowym silniku samochodowym: sprawnoœæ i wydajnoœæ zostaje mocno ograniczona.
Przyrost blaszek mia¿d¿ycowych w têtnicach wieñcowych prowadzi do zamkniêcia têtnicy i zawa³u
Na skutek zawa³u obumiera okreœlony obszar miêœnia sercowego, co powoduje: os³abienie pracy serca i zaburzenia rytmu oraz przewodnictwa serca
–witamina C
–lizyna i prolina
–przeciwutleniacze wspomagaj¹ naturalny proces leczenia œcian têtnic wieñcowych
–karnityna
–witamina C
–koenzym Q-10
–witaminy z grupy B
–minera³y i pierwiastki œladowe wspomagaj¹ funkcjonowanie pozosta³ych tkanek
miêœnia sercowego
A: Nastêpstwa zawa³u serca
B: W jaki sposób okreœlone sk³adniki od¿ywcze przyczyniaj¹ siê do poprawiania jakoœci ¿ycia po zawale serca i chroni¹ przed dalszymi zawa³ami
Na czym polega operacja wszczepienia bypassów?
Operacja wszczepienia bypassów staje siê koniecznoœci¹, gdy w jednej lub wielu têtnicach wieñcowych powstan¹ z³ogi mia¿d¿ycowe, gro¿¹ce zatorami i zawa³em serca. Aby zagwarantowaæ dostateczne ukrwienie tkanek serca le¿¹cych w obszarze naczyñ dotkniêtych mia¿d¿yc¹, tworzy siê „obwodnice” z ¿y³ pobranych np. z ³ydek chorego, pod³¹cza do aorty i zakoñczeñ zwê¿onych lub zamkniêtych têtnic. Zamieszczony w dalszej czêœci rysunek przedstawia schemat zabiegu kardiochirurgicznego. Za³o¿eniem ka¿dej operacji wszczepienia bypassów jest zapewnienie dostatecznego ukrwienia miêœnia sercowego i poprawy funkcji serca przez tworzenie pomostów aortalno–wieñcowych.
Faktem jest, ¿e nie nale¿y do rzadkoœci druga, czy nastêpna operacja wszczepienia bypassow, co utwierdza w przekonaniu, ¿e przyczyny mia¿d¿ycy – równie¿ mia¿d¿ycy bypassów – zosta³y niedostatecznie poznane. Rozwój blaszek mia¿d¿ycowych w ¿y³ach wykorzystanych przy bypassach niewiele ró¿ni siê od mia¿d¿ycy w têtnicach wieñcowych serca. Równie¿ i w tym przypadku odpowiedzialnoœci¹ nale¿y obci¹¿yæ fakt chronicznego niedoboru witamin i wielu innych sk³adników od¿ywczych. Jestem czêsto pytany, czy mo¿na unikn¹æ operacji wszczepienia bypassów realizuj¹c mój program witaminowy. Jak wykaza³em w tej ksi¹¿ce, koniecznoœæ operacji mo¿e zostaæ w wielu przypadkach odsuniêta w czasie lub wyeliminowana. Jednak niekiedy z³ogi mia¿d¿ycowe mog¹ osi¹gn¹æ takie rozmiary, ¿e operacja staje siê nieunikniona. W ka¿dym wypadku decyzja musi zostaæ podjêta po uprzedniej
konsultacji z kardiologiem. Ale nawet w sytuacji, gdy operacja wszczepienia bypassów jest nieunikniona, powinniœcie Pañstwo
koniecznie podj¹æ terapiê wspomagaj¹c¹ z komórkowymi sk³adnikami od¿ywczymi, aby zapewniæ d³ugotrwa³y sukces operacji i przeciwdzia³aæ dalszym uszkodzeniom.
Gdy przep³yw krwi w têtnicach wieñcowych hamowany jest przez
z³ogi mia¿d¿ycowe, wszczepienie bypassów zapewnia przep³yw krwi wokó³ blokady.
Têtnica wieñcowa
Celem operacji wszczepienia bypassów jest zagwarantowanie dop³ywu krwi do tkanek serca miêœniowego i zapobie¿enie w ten sposób zawa³owi serca.
Powody wszczepiania bypassów
Chcia³bym przybli¿yæ Tobie g³ówne problemy, które wynikaj¹ z wszczepienia bypassów. Pomyœlny rezultat operacji wszczepienia bypassów zagro¿ony jest przez dwa g³ówne czynniki: po pierwsze –przez mo¿liwoœæ zamkniêcia naczynia przez zakrzepy, po drugie –przez rozwój z³ogów mia¿d¿ycowych w ¿y³ach stosowanych w bypassach.
•Zakrzepy krwi (krótko po operacji): Zakrzepy krwi mog¹ powstaæ we wszczepionych bypassach, szczególnie na odcinku za³o¿onego szwu, przerywaj¹c dop³yw krwi. Powik³anie to pojawia siê zwykle natychmiast po operacji. Jeœli nie zostanie ono wyeliminowane, zakrzep ca³kowicie zablokuje przep³yw krwi przez bypass, sprawiaj¹c, ¿e operacja nie przyniesie ¿adnych rezultatów.
• Z³ogi mia¿d¿ycowe (d³ugoterminowe): Najwiêkszym zagro¿eniem dla d³ugofalowego sukcesu operacji wszczepienia bypassów jest powstanie z³ogów mia¿d¿ycowych w nowo wszczepionych naczyniach. Dotychczasowe metody leczenia stosowane przez medycynê konwencjonaln¹ nie s¹ w stanie wyeliminowaæ tego zjawiska, dlatego pacjenci musz¹ siê liczyæ z now¹ operacj¹ po oko³o 10-15 latach. Ponownie utworzona „obwodnica” ma tym razem na celu ominiêcie zamkniêtego bypassu. Pomimo, ¿e bypass utworzony jest najczêœciej z ¿y³y, jeœli nie bêdzie on chroniony za pomoc¹ odpowiednich dawek witamin i innych niezbêdnych sk³adników mog¹ w nim powstaæ takie same uszkodzenia i pêkniêcia jak w têtnicach oraz z³ogi mia¿d¿ycowe.
Powik³anie nr 1:
Tworzenie siê zakrzepów krwi w bypassach
Bypassy
Zakrzepy krwi blokuj¹ce przep³yw krwi przez bypass
Têtnica wieñcowa
Powik³anie nr 2:
Nowe z³ogi powstaj¹ we wszczepionych bypassach, a stare z³ogi w naczyniach wieñcowych nadal narastaj¹
Nowe z³ogi
Stare z³ogi
Programy Zdrowia Komórkowego dra Ratha mog¹ korzystnie wp³yn¹æ na krótko- i d³ugofalowe powodzenie operacji wszczepienia
bypassów:
1Sk³adniki zmniejszaj¹ce ryzyko powstania zakrzepów krwi:
–witamina C
–beta-karoten
–witamina E
–arginina
2Sk³adniki obni¿aj¹ce ryzyko powstania nowych z³ogów:
–witamina C
–prolina
–lizyna
–przeciwutleniacze
Przeszkody utrudniaj¹ce osi¹gniêcie d³ugotrwa³ego sukcesu operacji wszczepienia bypassów i jak mo¿na im zapobiegaæ stosuj¹c komórkowe sk³adniki od¿ywcze.
Okreœlone komórkowe sk³adniki od¿ywcze sprzyjaj¹ d³ugotrwa³emu sukcesowi operacji wszczepienia bypassów i jednoczeœnie polepszaj¹ standard ¿ycia pacjentów. Gdy zabieg jest nieunikniony – radzê ju¿ przed operacj¹ rozpocz¹æ naturaln¹ terapiê wspomagaj¹c¹. Zapewni ona komórkom serca, naczyñ i krwi optymalne nasycenie metabolicznie wa¿nymi czynnikami. Naturalne sk³adniki od¿ywcze przyczyniaj¹ siê do sukcesu operacji wszczepienia bypassów w nastêpuj¹cy sposób:
•Szybsze gojenie siê ran pooperacyjnych: Witamina C jest niezast¹piona w optymalnym tworzeniu siê kolagenu i gojeniu ran. Zalecam rutynowo 1-2 gramów witaminy C dziennie przed i po operacji.
•Zapobieganie tworzeniu siê zakrzepów we wszczepionych bypassach: Zarówno witamina C, witamina E oraz beta-karoten pomagaj¹ zapobiegaæ tworzeniu siê zakrzepów krwi. Jak wykazuj¹ badania, witaminy pomagaj¹ tak¿e rozpuœciæ istniej¹ce ju¿ zakrzepy. Pacjenci stosuj¹cy „Coumadin” i inne œrodki – pochodne kumaryny, zmniejszaj¹ce krzepliwoœæ krwi powinni poinformowaæ swoich lekarzy o rozpoczêciu mojego programu, w celu wykonywania dodatkowych badañ krzepliwoœci krwi.
•Zapobieganie powstawaniu z³ogów mia¿d¿ycowych we wszczepionych bypassach: Najczêœciej stosowanymi naczyniami w operacji wszczepienia bypassów s¹ ¿y³y. Regu³¹ jest, ¿e ze wzglêdu na wystêpuj¹ce w ¿y³ach niskie ciœnienie krwi – nie spotykana jest mia¿d¿yca ¿ylna. Niskie ciœnienie nie powoduje rys i pêkniêæ w œcianach ¿y³, nawet przy niedoborze witamin. Jednak w trakcie przeprowadzonej operacji bypassów zostaje zamieniona funkcja ¿y³y (pobranej z ³ydki chorego) na funkcjê têtnicy (wieñcowej), podlegaj¹cej du¿emu ciœnieniu krwi. W zubo¿a³ej w witaminy i os³abionej œcianie ¿y³y – bypassa powstaj¹ uszkodzenia, prowadz¹ce do z³ogów mia¿d¿ycowych. Witaminy oraz inne niezbêdne sk³adniki zalecane w zapobieganiu tworzenia siê z³ogów mia¿d¿yco-wych w naczyniach wieñcowych s¹ tak¿e skuteczne w
zapobieganiu rozwojowi z³ogów w bypassach. Najwa¿niejszym spoœród tych niezbêdnych sk³adników jest witamina C, witamina E oraz aminokwasy lizyna i prolina.
Komórkowe sk³adniki od¿ywcze po angioplastyce (balonikowaniu) naczyñ wieñcowych
Czym jest angioplastyka naczyñ wieñcowych?
Podczas gdy operacja wszczepienia bypassów znalaz³a zastosowanie w przypadkach postêpuj¹cej mia¿d¿ycy, przy nieznacznych z³ogach stosuje siê metody alternatywne np. angioplastykê. W tej metodzie udra¿nia siê têtnice i usuwa z³ogi mia¿d¿ycowe za pomoc¹ specjalnych baloników lub ostatnio laserów i no¿yków obrotowych, za pomoc¹ których mechanicznie wystruguje siê z³ogi. Zabieg balonikowania polega z regu³y na wprowadzeniu cewników do têtnicy udowej przez aortê w kierunku serca. Ich umiejscowienie, w docelowym obszarze têtnicy wieñcowej, kontroluje siê za pomoc¹ zdjêcia rentgenowskiego. Poprzez cewniki wprowadza siê balonik a nastêpnie napompowuje go p³ynem pod wysokim ciœnieniem. W ten sposób balonik „rozgniata” z³ogi mia¿d¿ycowe w têtnicy.
Ka¿dy zabieg angioplastyki niszczy wnêtrze têtnic wieñcowych, czasem nawet na d³ugoœci kilku centymetrów. Nie mo¿e zatem dziwiæ fakt, ¿e liczba komplikacji zwi¹zanych z t¹ technik¹ jest powa¿na. W ponad 30% przypadków têtnica wieñcowa zamyka siê niemal natychmiast lub w przeci¹gu paru miesiêcy po zabiegu. To t³umaczy, ¿e ka¿da forma zabiegu, nawet ta najnowoczeœniejsza prowadzi do uszkodzeñ i ran w œcianach têtnic wieñcowych.
Najpowa¿niejsz¹ komplikacj¹ zabiegu angioplastyki jest pêkniêcie œciany naczynia z powodu mechanicznej ingerencji w têtnicy. Inne, równie groŸne powik³anie, zwi¹zane jest z obecnoœci¹ w naczyniu w³ókien uszkodzonej mechanicznie tkanki i powstaj¹cych zakrzepów krwi. Te czynniki prowadz¹ do wtórnego zamkniêcia naczynia. Do d³ugotrwa³ych powik³añ zalicza siê tak¿e nadmierne powstawanie blizn w obszarze powsta³ych po zabiegu ran oraz dalszy przyrost z³ogów mia¿d¿ycowych.
D³ugotrwa³y wynik interwencyjnego zabiegu angioplastyki mo¿na utrzymaæ i wyraŸnie polepszyæ poprzez stosowanie przed i po zabiegu dodatku komórkowych sk³adników od¿ywczych. W niektórych przypadkach mog¹ one zmniejszyæ objawy dusznicy bolesnej na tyle, ¿e lekarz zaleci od³o¿enie wykonania zabiegu. Najczêœciej jednak zalecane jest przeprowadzenie zabiegu w celu zminimalizowania ryzyka wyst¹pienia zawa³u serca.
Po podjêciu decyzji o zabiegu zalecam Ci jak najszybsze rozpoczêcie realizowania mojego programu witaminowego i poinformowanie o tym swojego lekarza. Dodatek komórkowych sk³adników od¿ywczych zasila tkankê œciany têtnicy w witaminy i przyspiesza proces gojenia siê ran. Jeœli przeprowadzano ju¿ u Ciebie zabieg angioplastyki, mój program witaminowy mo¿e pomóc Ci zwiêkszyæ szanse na osi¹gniêcie d³ugofalowego sukcesu tego zabiegu. Okreœlone sk³adniki od¿ywcze w ró¿ny sposób przyczyniaj¹ siê do sukcesu przeprowadzonego zabiegu:
•Witamina C przyspiesza proces gojenia ran powsta³ych w têtnicach wieñcowych podczas zabiegu angoplastyki. Do dnia dzisiejszego nie istnieje lekarstwo, którego dzia³anie mo¿na by by³o porównaæ z dzia³aniem witaminy C podczas gojenia siê ran w œcianach têtnic.
• Lizyna i prolina pomagaj¹ odtworzyæ strukturê œciany naczynia, zmniejszaj¹c w tym samym czasie ryzyko powstania z³ogów t³uszczów w obszarze ran i uszkodzeñ têtnicy.
•Witamina E oraz witamina C zapobiegaj¹ nadmiernemu tworzeniu siê blizn w œcianie têtnicy. Przyczyn¹ bliznowacenia jest rozrost komórek miêœniowych œciany naczynia, co prowadzi do wtórnego zamkniêcia siê têtnicy wieñcowej po angioplastyce.
Cewnik balonikowy wprowadzany jest najczêœciej przez têtnicê udow¹
Z³ogi mia¿d¿ycowe ograniczaj¹ przep³yw krwi przez têtnicê wieñcow¹
Koniec cewnika zbli¿a siê do z³ogów w têtnicy wieñcowej
Balonik nape³niany jest pod wysokim ciœnieniem, zgniataj¹c z³ogi i dociskaj¹c je do œciany naczynia
Œciana naczynia zostaje podczas tego zabiegu powa¿nie uszkodzona.
Skutki zabiegu angioplastyki:
–W 70% przypadków polepsza ukrwienie naczyñ wieñcowych
–W 30% dochodzi do wtórnego zamkniêcia têtnicy.
Angioplastyka próbuje polepszyæ ukrwienie miêœnia sercowego metod¹ mechaniczn¹:
1. Wprowadzenie cewnika
2. Napompowanie balonika
•Witamina C, witamina E i beta-karoten oraz inne komórkowe sk³adniki od¿ywcze zmniejszaj¹ ryzyko powstania zakrzepów krwi poprzez ochronne dzia³anie na p³ytki krwi oraz zapewniaj¹ wa¿n¹ antyoksydacyjn¹ ochronê dla uk³adu krwionoœnego.
Moje zalecenia dotycz¹ce zachowania zdrowia komórkowego obejmuj¹ wybór komórkowych sk³adników od¿ywczych, których synergiczne dzia³anie okreœla d³ugotrwa³y sukces stosowanego zabiegu angioplastyki. Aby jeszcze bardziej podwy¿szyæ intensywnoœæ dzia³ania, zalecam zwiêkszenie dawki nastêpuj¹cych witamin: witaminy C i E.
Cewnik balonikowy wprowadzany jest najczêœciej przez têtnicê udow¹
Z³ogi mia¿d¿ycowe ograniczaj¹ przep³yw krwi przez têtnicê wieñcow¹
Koniec cewnika zbli¿a siê do z³ogów w têtnicy wieñcowej
Balonik nape³niany jest pod wysokim ciœnieniem, zgniataj¹c z³ogi i dociskaj¹c je do œciany naczynia
Œciana naczynia zostaje podczas tego zabiegu powa¿nie uszkodzona.
Skutki zabiegu angioplastyki:
–W 70% przypadków polepsza ukrwienie naczyñ wieñcowych
–W 30% dochodzi do wtórnego zamkniêcia têtnicy.
Angioplastyka próbuje polepszyæ ukrwienie miêœnia sercowego metod¹ mechaniczn¹:
1. Wprowadzenie cewnika
2. Napompowanie balonika
W zapobieganiu wtórnemu zamkniêciu têtnicy wieñcowej po angioplastyce pomagaj¹ ró¿ne komórkowe sk³adniki od¿ywcze. Ju¿ pierwsze przeprowadzone badania kliniczne z naturalnymi substancjami od¿ywczymi wykazuj¹ nieporównanie lepsze wyniki w leczeniu i zapobieganiu ni¿ jakakolwiek konwencjonalna terapia:
• Dr Samuel DeMeio z Uniwersytetu Emory, w Atlancie, przebada³ pacjentów z chorob¹ wieñcow¹ serca, którzy poddani zostali angioplastyce. Po przeprowadzonym zabiegu jedna grupa pacjentów otrzymywa³a 1200 miêdzynarodowych jednostek witaminy E jako dodatek ¿ywieniowy, druga grupa – kontrolna nie otrzymywa³a dodatku witaminy E. Po czterech miesi¹cach badania u uczestników z grupy witaminowej stwierdzono spadek czêstotliwoœci wtórnego zamkniêcia têtnic wieñcowych o 15%, w porównaniu z grup¹ kontroln¹.
• Moja kole¿anka, dr Aleksandra Niedzwiecki oraz jej wspó³pracownicy wykazali, ¿e witamina C zmniejsza nadmierny wzrost i rozwój komórek miêœni g³adkich œciany naczynia i pomaga opanowaæ jeden z najczêstszych czynników odpowiedzialnych za niepowodzenie zabiegu angioplastyki.
• Doœwiadczenia na zwierzêtach, przeprowadzone przez dr Gilberto Nunesa z zespo³em, potwierdzi³y i udokumentowa³y pozytywny wp³yw kombinacji witaminy C i E na wyraŸne zmniejszenie odsetka wtórnego zamkniêcia naczynia po zabiegu balonikowania.
• Witamina C, witamina E, lizyna i prolina to wa¿ne sk³adniki od¿ywcze, które w sposób naturalny pomog¹ Tobie zmniejszyæ ryzyko wyst¹pienia wtórnego zamkniêcia œwiat³a naczynia, po angioplastyce. Zdaj sobie jednak sprawê z tego, ¿e opisane w tym rozdziale problemy – zawa³ serca, dusznica bolesna, operacja wszczepienia bypassów, czy angioplastyka – podlegaj¹ wspólnemu mianownikowi, u podstaw którego le¿y zwapnienie ¿y³ i mia¿d¿yca.
Przebadane komórkowe sk³adniki od¿ywcze Autorzy badañ
witamina C i witamina E Riemersma
beta-karoten Riemersma
karnityna Ferrari, Opie, Rizzon
koenzym Q-10 Folkers, Kamikawa
magnez Iseri, Teo
Komórkowe sk³adniki od¿ywcze zmniejszaj¹
ryzyko chorób serca i uk³adu kr¹¿enia przy:
•niezdrowej diecie
•paleniu tytoniu
•stresie
•hormonalnych œrodkach antykoncepcyjnych
•lekach moczopêdnych i innych
•dializie
•interwencji chirurgicznej
•dziedzicznych i genetycznych czynnikach
ryzyka zawa³u serca
W poprzednich rozdzia³ach zajmowaliœmy siê zagadnieniem wp³ywu sk³adników od¿ywczych na obni¿enie poziomu cholesterolu i trójglicerydów we krwi. Poniewa¿ przewa¿aj¹ca czêœæ cholesterolu produkowana jest przez komórki naszego organizmu, dlatego stosowanie diety z regu³y nie wywiera znacz¹cego wp³ywu na jego poziom.
Naturalnie – rozumne jest kierowanie siê zasadami zdrowego ¿ywienia i ograniczenie poziomu t³uszczów w pokarmie. Jednak wielu ludziom sprawia to niewyobra¿aln¹ trudnoœæ. Nie bez podstaw zaobserwowano w ostatnich latach istn¹ epidemiê nadwagi w krajach rozwiniêtych np. w Niemczech mieszkañcy znadwag¹ stanowi¹ prawie po³owê ludnoœci. Uzasadniony jest niepokój dotycz¹cy zawartoœci t³uszczów w pokarmach i ich wp³ywu na optymaln¹ przemianê materii oraz zdrowie ludzi. Równie¿ wtej kwestii mo¿e pomóc dodatek do dziennej diety komórkowych sk³adników od¿ywczych.
Liczne badania naukowe z wybranymi sk³adnikami od¿ywczymi potwierdzaj¹ ich korzystny wp³yw na przemiany t³uszczów poprzez:
• obni¿enie produkcji cholesterolu w organizmie
•przyspieszenie przemiany t³uszczów w komórkach
•przyspieszenie rozk³adu i wydalania t³uszczów
•ochronê moleku³ t³uszczów przed utlenianiem
Wa¿ne jest, abyœ rozumia³, ¿e pewne witaminy s¹ zu¿ywane wprocesie rozk³adu cholesterolu i trójglicerydów. Dla ka¿dej moleku³y cholesterolu, obojêtne czy zosta³a wyprodukowana przez organizm, czy pochodzi z diety, nasz organizm zu¿ywa wreakcji enzymatycznej zachodz¹cej w w¹trobie jedn¹ moleku³ê witaminy C. W ten sposób
wysoki poziom cholesterolu i trójglicerydów mo¿e przyczyniaæ siê do chronicznego braku witamin w organizmie. Dlatego te¿ odpowiedzialnoœci¹ za podwy¿szone ryzyko chorób serca i uk³adu kr¹¿enia obci¹¿yæ nale¿y w pierwszym rzêdzie fakt wyczerpania rezerw witaminowych w organizmie, a nie jak dotychczas s¹dzono –t³uszcze zawarte w pokarmach. Poza zbyt du¿¹ iloœci¹ t³uszczów, nasze po¿ywienie jest coraz bardziej przetworzone i obci¹¿one che-
micznymi substancjami toksycznymi np. pestycydami, lub konserwantami. Te toksyczne substancje zostaj¹ zneutralizowane w w¹trobie. Witamina C oraz inne komórkowe sk³adniki od¿ywcze s¹ niezbêdnymi kofaktorami etapów biokatalizy, przyspieszaj¹cymi proces odtrucia i w ten sposób ograniczaj¹cymi szkody, jakie mog¹ zostaæ wyrz¹dzone w organizmie.
Moje zalecenia:
Stosuj roztropn¹ dietê. Obserwuj swoj¹ wagê i regularnie uprawiaj æwiczenia fizyczne. Zdrowa dieta obfituje w pokarmy pochodzenia roœlinnego i zawiera du¿e iloœci witamin oraz b³onnika, który nie tylko u³atwia trawienie, ale te¿ dzia³a odtruwaj¹co. Spróbuj unikaæ pokarmów zawieraj¹cych zbyt du¿o t³uszczów icukru. Przede wszystkim zaœ, regularnie uzupe³niaj wyczerpuj¹ce siê rezerwy witamin w Twoim organizmie, poprzez dzienne przyjmowanie wa¿nych metabolicznie komórkowych sk³adnikówod¿ywczych.
Podczas gdy powszechnie wiadomo, ¿e palenie tytoniu wsposób dramatyczny zwiêksza ryzyko wyst¹pienia zawa³u serca, to przyczyna tego zjawiska jest czêsto s³abo znana. Dym z papierosów zawiera miliony wolnych rodników – agresywnych moleku³, które niszcz¹ komórki i organy naszego cia³a oraz przyspieszaj¹ proces biologicznej korozji. Wolne rodniki i inne toksyczne substancje zawarte w dymie tytoniowym docieraj¹ do krwiobiegu poprzez p³uca. Te szkodliwe substancje mog¹ niszczyæ naczynia uk³adu kr¹¿enia na ca³ej jego d³ugoœci ok. 100 000 km i to jest u wiêkszoœci palaczy powodem mia¿d¿ycy oraz zaburzeñ kr¹¿enia m.in. w naczyniach obwodowych koñczyn dolnych. Czêsto tkanki s¹ tak dalece uszkodzone, ¿e alternatyw¹ jest tylko amputacja palców, czy czêœci koñczyny.
Aby broniæ siê przed tymi agresywnymi moleku³ami, organizm wykorzystuje przeciwutleniacze. Spoœród wszystkich przeciwutleniaczy najwa¿niejsz¹ rolê w procesach oksydacyjno – redukcyjnych ustroju odgrywa witamina C. Gdy zapasy witamin worganizmie zostan¹
wyczerpane, w uk³adzie kr¹¿enia zaczyna rozwijaæ siê choroba sercowo-naczyniowa, tak jak we wczesnej postaci szkorbutu.
Moje zalecenia dotycz¹ licznych, naturalnych przeciwutleniaczy, zdolnych do neutralizowania wolnych rodników zawartych wdymie z papierosów oraz do zapobiegania uszkodzeniom œcian naczyñ krwionoœnych i innych tkanek ludzkiego organizmu. Je¿eli ci¹gle jeszcze jesteœ palaczem, warto podj¹æ wysi³ek rzucenia palenia. Byæ mo¿e ten rozdzia³ uœwiadomi Ci, jak wielkie zniszczenia powodujesz w swoim organizmie pal¹c tytoñ. Zarówno dla palaczy, jak i dla by³ych palaczy, moje zalecenie brzmi tak samo: zoptymalizuj dzienne spo¿ycie naturalnych przeciwutleniaczy i innych komórkowych sk³adników od¿ywczych.
D³ugotrwa³y stres fizyczny i psychiczny zwiêksza ryzyko wyst¹pienia choroby sercowo-naczyniowej, która jest czêsto nazywana „chorob¹ dyrektorsk¹”. Co stanowi podstawowy biochemiczny mechanizm tego fenomenu?
W trakcie stresu fizycznego lub emocjonalnego, organizm produkuje du¿e iloœci hormonu stresu – adrenaliny. Do produkcji jednej moleku³y adrenaliny, organizm zu¿ywa jako katalizatora jedn¹ moleku³ê witaminy C. W ten w³aœnie sposób d³ugotrwa³y fizyczny lub emocjonalny stres mo¿e prowadziæ do powa¿nego uszczuplenia zasobów witaminy C w organizmie. Jeœli witamina C nie jest dostarczana w diecie w optymalnych iloœciach, dochodzi do zubo¿enia organizmu w witaminy i os³abienia œcian naczyñ krwionoœnych.
Fakty te wyjaœniaj¹ tak¿e, dlaczego ma³¿onkowie czêsto umieraj¹ w krótkim czasie jedno po drugim. Strata partnera powoduje d³ugotrwa³y stres emocjonalny oraz szybki ubytek witamin worganizmie, zwiêkszaj¹c tym samym ryzyko zawa³u serca. Musisz rozumieæ, ¿e to nie stres emocjonalny wywo³uje zawa³ serca, lecz zawa³ jest biochemiczn¹ konsekwencj¹ zu¿ycia zapasów witamin w organizmie, spowodowan¹ nadprodukcj¹ adrenaliny.
Spróbuj znaleŸæ czas na wypoczynek. Przy zawodowym stresie powinieneœ równie konsekwentnie planowaæ Twoje godziny idni relaksu, tak jak planujesz s³u¿bowe terminy. W przypadku powa¿nych problemów emocjonalnych, mo¿esz tak¿e skorzystaæ zprofesjonalnej porady. Niezale¿nie od tych kroków, uwzglêdniaj w sytuacjach stresowych Twoje podwy¿szone zapotrzebowanie na komórkowe sk³adniki od¿ywcze.
Liczne obserwacje kliniczne wskazuj¹ na podwy¿szone ryzyko wyst¹pienia zawa³u serca u kobiet przyjmuj¹cych preparaty hormonalne, zarówno antykoncepcyjne, jak i te stosowane whormonalnej terapii zastêpczej (HTZ) przy menopauzie. Równie¿ wtym wypadku rozszyfrowane zosta³y biochemiczne podstawy zaburzeñ. W 1972 roku dr Briggs na ³amach czasopisma naukowego „Natura” zamieœci³ artyku³ dotycz¹cy badañ nad wp³ywem preparatów hormonalnych u kobiet. Okaza³o siê, ¿e kobiety przyjmuj¹ce hormony maj¹ wyraŸnie zani¿ony poziom witaminy C worganizmie, co stanowi niebezpieczeñstwo dla serca i uk³adu kr¹¿enia. Uzyskane wyniki potwierdzi³y dalsze badania dra Riversa, który jednoczeœnie wskaza³ etiologiê zaburzenia – odpowiedzialnoœæ za zubo¿enie organizmu w witaminê C ponosz¹ estrogeny. D³ugotrwa³e przyjmowanie estrogenu i innych hormonów –zarówno jako œrodka antykoncepcyjnego, jak i wprzypadku HTZ –powoduje ubytek witamin i innych komórkowych sk³adników w organizmie. To nie pigu³ka antykoncepcyjna sama w sobie zwiêksza ryzyko wyst¹pienia choroby sercowo – naczyniowej, ale zwi¹zane z ni¹ obni¿enie zawartoœci witamin worganizmie.
Nie mo¿e wobec tego dziwiæ fakt, ¿e najwiêksze badania kliniczne, których celem by³o sprawdzenie mo¿liwych korzyœci zdrowotnych, p³yn¹cych z hormonalnej terapii zastêpczej, prowadzone z udzia³em 16 000 kobiet musia³y zostaæ przerwane przed zakoñczeniem z powodu znacz¹co podwy¿szonego ryzyka wyst¹pienia ataków serca, trombozy oraz innych powik³añ.
Jeœli w³aœnie za¿ywasz lub za¿ywa³aœ hormonalne pigu³ki antykoncepcyjne oraz stosowa³aœ HTZ, zalecam Ci uzupe³nianie codziennej diety o wybrane komórkowe sk³adniki od¿ywcze, które pomog¹ w profilaktyce choroby sercowo – naczyniowej.
Faktem jest, ¿e leki moczopêdne – diuretyki wzmagaj¹ nie tylko wydzielanie wody i sodu z organizmu, ale równie¿ powoduj¹ zwiêkszone wydalanie witamin i innych substancji od¿ywczych, rozpuszczalnych w wodzie. Przy stosowaniu tego typu leków, nieodzowne jest uzupe³nianie rezerw organizmu w substancje bioenergetyczne za pomoc¹ dodatku komórkowych sk³adników od¿ywczych.
Obok diuretyków, równie¿ inne lekarstwa prowadz¹ do stopniowego wyczerpania zapasów witamin oraz innych niezbêdnych sk³adników w organizmie. Leki s¹ na ogó³ substancjami syntetycznymi, „obcymi” dla organizmu, podobnie jak ka¿da substancja opochodzeniu innym ni¿ naturalne. Mog¹ one przyczyniæ siê do wyczerpania rezerw witaminowych w organizmie pacjenta na ró¿ne sposoby.
• Aby syntetyczne substancje mog³y zostaæ usuniête zorganizmu, musz¹ uprzednio zostaæ poddane biochemicznej detoksykacji. Proces ten zachodz¹cy przede wszystkim ww¹trobie, wymaga obecnoœci katalizatorów: witaminy C i innych komórkowych sk³adników od¿ywczych. Wiele z tych niezbêdnych sk³adników jest zu¿ywanych w reakcjach enzymatycznych zachodz¹cych podczas procesu detoksykacji. Regularne za¿ywanie lekarstw jest przyczyn¹ chronicznego braku witamin worganizmie i prowadzi do konsekwencji, opisanych ju¿ wpoprzednich rozdzia³ach.
• Za¿ywane lekarstwa upoœledzaj¹ optymalne wch³anianie witamin z przewodu pokarmowego do krwioobiegu. Setki tysiêcy pacjentów na ca³ym œwiecie za¿ywa preparat obni¿aj¹cy poziom cholesterolu, zwany „cholestyramina”. Œrodek ten tworzy w jelicie papkê, w któ-
rej wymieszane s¹ razem witaminy oraz inne substancje przemiany materii i ogranicza w ten sposób optymalne wch³anianie sk³adników od¿ywczych worganizmie.
• Leki nowej generacji obni¿aj¹ce poziom cholesterolu, takie jak: Zocor, czy Mevacor redukuj¹ znacz¹co produkcjê cholesterolu w organizmie, przy jednoczesnym ograniczeniu indywidualnej produkcji wa¿nych ¿yciowo substancji np. koenzymu Q10 (ubichinonu). Jest to szczególnie niebezpieczne wprzypadku pacjentów cierpi¹cych na niewydolnoœæ serca iniski poziom koenzymu Q10 –przepisane i za¿ywane lekarstwa mog¹ doprowadziæ do niebezpiecznych dla ¿ycia powik³añ choroby.
Moje zalecenia:
Stosowanie dodatku witamin jest wskazane nie tylko przy wy¿ej wymienionych lekach. Jeœli za¿ywasz jakiekolwiek leki przepisywane na receptê, zalecam Ci stosowanie dodatku komórkowych sk³adników od¿ywczych w optymalnych iloœciach przy jednoczesnym poinformowaniu o tym swojego lekarza.
Liczne badania wykaza³y, ¿e u pacjentów poddawanych d³ugotrwa³ym dializom wystêpuje podwy¿szone ryzyko wyst¹pienia chorobysercowo-naczyniowej. Nie mo¿e to dziwiæ, jako ¿e dializa filtrujez krwi nie tylko produkty przemiany materii, ale tak¿e witaminy oraz inne niezbêdne sk³adniki. Jeœli niedobór tych substancji nie bêdzie uzupe³niany, d³ugotrwa³e dializy doprowadz¹ do stopniowego wyczerpania zasobów komórkowych sk³adników od¿ywczych w organizmie i w œcianach naczyñ krwionoœnych oraz do zwiêkszonej zachorowalnoœci na choroby serca i uk³adu kr¹¿enia.
Moje zalecenia:
Ka¿dy, kto poddawany jest dializom powinien jak najszybciej rozpocz¹æ realizacjê moich zaleceñ dotycz¹cych zdrowia komór-
kowego. Jeœli nie jesteœ sam dotkniêty chorob¹ a znasz jak¹œ osobê poddawan¹ dializom, podziel siê z ni¹ informacjami zawartymi w tej ksi¹¿ce; mo¿esz pomóc przed³u¿yæ jej ¿ycie. Ka¿dy odpowiedzialny lekarz powinien korzystaæ z doœwiadczeñ medycyny komórkowej i polecaæ pacjentom regularny dodatek witamin iinnych wa¿nych sk³adników od¿ywczych. Interwencje chirurgiczne
Pacjenci poddawani operacjom chirurgicznym powinni upewniæ siê, ¿e ich organizmy s¹ optymalnie zaopatrzone w witaminy iinne komórkowe sk³adniki od¿ywcze. Ich wysoki poziom pomo¿e na ró¿ne sposoby przed, w trakcie i po operacji:
•Przy uzupe³nieniu ubytku witamin, powsta³ego na skutek stresu. Ka¿da operacja jest dla pacjenta wielkim obci¹¿eniem fizycznym i psychicznym. Przygotowanie do operacji, sama operacja oraz proces leczenia skutkuj¹ silnym, trwaj¹cymkilka tygodni stresem i mog¹ prowadziæ do ostrego niedoboruwitamin w organizmie w czasie, gdy ich optymalna iloœæ jest najbardziej potrzebna.
•Przez przyspieszenie procesu gojenia siê ran pooperacyjnych. Ka¿da operacja wi¹¿e siê w mniejszym lub wiêkszym stopniu z uszkodzeniem tkanek organizmu. Proces gojenia siê ran pooperacyjnych jest uzale¿niony od szybkoœci, z jak¹ tworzony jest kolagen oraz inne moleku³y tkanki ³¹cznej. Witamina C oraz inne komponenty Programu Zdrowia Komórkowego sprzyjaj¹ procesowi gojenia ran, poprzez wspó³udzia³ wprocesie budowy kolagenu i innych sk³adników tkanki ³¹cznej.
•Przez ochronê przed szkodami wynikaj¹cymi z procesu oksydacji. Czêsto w okreœlonych operacjach organy, czy tkankicia³a pacjenta poddane zostaj¹ podwy¿szonej koncentracji tlenu. Podczas operacji wszczepiania bypassów praca serca zostaje zatrzymana, obieg krwi utrzymywany jest w tzw. kr¹¿eniu pozaustrojowym przez urz¹dzenie o nazwie p³ucoserce, a krew jest sztucznie zaopatrywana w tlen. Przy wysokiej koncentracji tlenu
mo¿e dojœæ do uszkodzeñ tkanek ustroju. Szczególnie du¿e niebezpieczeñstwo uszkodzeñ tkanek (uszkodzenia reperfuzyjne) wystêpuje podczas ponowionego ukrwienia niedokrwionych lub za s³abo ukrwionych tkanek.
Moje zalecenia zawieraj¹ naturalne przeciwutleniacze, które mog¹ zminimalizowaæ ryzyko wystêpowania niekorzystnych zjawisk towarzysz¹cych operacji. To tylko niektóre powody, dla których pacjenci nie powinni zapomnieæ, zw³aszcza przed planowan¹ operacj¹, o przyjmowaniu suplementów od¿ywczych. Przyjmowane przed, w trakcie i po hospitalizacji, komórkowe sk³adniki pomagaj¹ zapobiegaæ wyczerpaniu substancji od¿ywczych oraz zwi¹zanych z tym uszkodzeniom. Z tego w³aœnie powodu czo³owe uczelnie medyczne rutynowo zalecaj¹ pacjentompoddawanym operacjom uzupe³nianie witamin.
Poni¿sza tabela przedstawia niektóre z badañ nad rol¹ poszczególnychkomórkowych sk³adników od¿ywczych w obni¿aniu ró¿nych czynników ryzyka chorób serca i uk³adu kr¹¿enia:
Badania nad sk³adnikami od¿ywczymi przy: Autorzy badañ
T³uszczach krwi Ginter, Harwood iSokoloff
Paleniu tytoniu Chow, Halliwell, Lehr iRiemersma
Stresie Levine
„Pigu³ce” Briggs i Rivers
Dializie Blumberg
Lekach na receptê Halliwell i Clemetson
Czêsto jestem pytany, czy komórkowe sk³adniki od¿ywcze mog¹ pomóc równie¿ przy dziedzicznym ryzyku wyst¹pienia zawa³u serca. W wielu przypadkach odpowiedŸ brzmi „tak”. Poza zewnêtrznymi czynnikami ryzyka, bior¹cymi swój pocz¹tek zotoczenia lub ¿yciowych przyzwyczajeñ, drug¹ liczn¹ grupê stanowi¹ dziedziczne czynniki ryzyka chorób serca i uk³adu kr¹¿enia, czyli wewnêtrzne faktory ryzyka.
Ka¿dy s³ysza³ kiedyœ stwierdzenie: „Choroba serca jest w naszej rodzinie dziedziczna”. Cz³onkowie takich rodzin czêsto umieraj¹ wczwartej lub pi¹tej dekadzie ¿ycia na zawa³ serca. Przyczynê tych przedwczesnych œmierci stanowi¹ predyspozycje dziedziczne. Szczególnie czêste, spoœród genetycznych czynników ryzyka,s¹ dziedziczne zaburzenia metabolizmu t³uszczów (wysoki cholesterol lub hipercholesterolemia) oraz dziedziczne zaburzenia metabolizmu cukrów (cukrzyca).
W jaki wiêc sposób okreœlone komórkowe sk³adniki od¿ywcze mog¹ wp³yn¹æ na zmniejszenie dziedzicznego ryzyka? Pozwól mi wyjaœniæ zasadê dzia³ania na przyk³adzie jednej z dziedzicznych chorób metabolicznych, jak¹ jest cukrzyca. Wadliwe predyspozycje genetyczne prowadz¹ do zmniejszonej produkcji insuliny w organizmie lub niewykorzystania jej w metabolizmie komórkowym. Naturalne sk³adniki od¿ywcze nie s¹ w stanie naprawiæ wystêpuj¹cy b³¹d genetyczny, lecz mog¹ w znacznym stopniu wp³yn¹æ na poprawê zachwianego metabolizmu przy cukrzycy izapobiec komplikacjom ze strony uk³adu kr¹¿enia.
Celowe stosowanie dodatków od¿ywczych stwarza dodatkowe mo¿liwoœci równie¿ przy profilaktyce dziedzicznego ryzyka zawa³u serca.
Podczas gdy zewnêtrzne czynniki ryzyka wyczerpuj¹ rezerwuar witamin w organizmie, czynniki wewnêtrzne wymagaj¹ ci¹g³ego, ogólnie wysokiego poziomu witamin, w celu zniwelowania nastêpstw ryzyka.
Twoja decyzja
Optymalne codzienne spo¿ycie komórkowych sk³adników od¿ywczych
Optymalny poziom witamin w organizmie (zdrowie)
Chroniczny niedobór witamin (mia¿d¿yca, zawa³ serca)
Ca³kowity brak witamin (np. szkorbut)
Optymalny
Poziom witamin worganizmie
Zbyt niski
Twoja decyzja
Dziedziczne ryzyko: zaburzenia metabolizmu t³uszczów, cukrzyca, homocystynuria
Zewnêtrzne czynniki ryzyka: (Palenie, stres i niezdrowa dieta)
Okreœlone komórkowe sk³adniki od¿ywcze zmniejszaj¹ i neutralizuj¹
zewnêtrzne oraz dziedziczne czynniki ryzyka.
Niezale¿nie od tego, czy podwy¿szone ryzyko wyst¹pienia zawa³u serca jest uwarunkowane dziedzicznie, czy te¿ przez b³êdy ¿ywieniowe, sytuacje stresowe i inne czynniki – prawdopodobieñstwo wyst¹pienia choroby obni¿a siê wraz z optymalnym dop³ywem naturalnych sk³adników od¿ywczych.
Zastosowanie i rola komórkowych sk³adników od¿ywczych wprofilaktyce i leczeniu wspomagaj¹cym wrodzonych chorób metabolicznych jest obecnie przedmiotem wielu badañ. Poni¿sza tabela zawiera listê chorób dziedzicznych, przy których okreœlone sk³adniki od¿ywcze mog¹ wp³yn¹æ na przebieg i leczenie choroby.
Otrzymane dotychczas wyniki s¹ zachêcaj¹ce i usprawiedliwiaj¹ moje zalecenia dotycz¹ce wybranych sk³adników od¿ywczych wterapii wspomagaj¹cej przy wy¿ej wymienionych jednostkach chorobowych.
Na zamieszczonym rysunku defekt w informacji genetycznej przedstawiony zosta³ jako bomba zegarowa. Komórkowe sk³adniki od¿ywcze nie mog¹ sprawiæ, ¿eby ta bomba po prostu znik³a. Mog¹ jednak przyczyniæ siê do jej rozbrojenia izapobie¿enia „eksplozji” w postaci zaburzeñ metabolicznych oraz innych symptomów choroby.
Ryzyko sercowo-naczyniowe mo¿esz zminimalizowaæ na dwa sposoby:
• Ograniczaj¹c zewnêtrzne czynniki ryzyka, takie jak palenie czyniezdrowa dieta.
• Zwiêkszaj¹c dzienne spo¿ycie witamin i innych komórkowych sk³adników od¿ywczych.
•Komórkowe sk³adniki od¿ywcze Ÿród³em bioenergii
•Za³o¿enia medycyny komórkowej
•Naukowe fakty o komórkowych sk³adnikach od¿ywczych
Komórkowe sk³adniki od¿ywcze s¹ elementarnym „paliwem” biologicznym, które musi byæ w sposób ci¹g³y dostarczane organizmowi. Powszechnie znane s¹ inne Ÿród³a bioenergii i fakt korzystania z nich organizmów ¿ywych, czyli: powietrze (tlen), woda i pokarm (bia³ka, t³uszcze i wêglowodany).
Cech¹, która odró¿nia jednak komórkowe sk³adniki od¿ywcze od wody, powietrza i pokarmu jest brak symptomów ich niedoboru. £atwo to sprawdziæ – wiadomym znakiem niedoboru wody jest pragnienie, a pokarmów – g³ód, alarmuj¹cy brak tlenu wywo³uje dusznoœci. W przeciwieñstwie do tych sygna³ów brak, czy niedobór naturalnych sk³adników od¿ywczych: witamin, aminokwasów, minera³ów, pierwiastków œladowych – tych wszystkich ¿yciowo wa¿nych noœników bioenergii komórkowej, nie wywo³uje w organizmie jakichkolwiek symptomów fizycznych. Pierwsz¹ oznak¹ d³ugotrwa³ego niedoboru witamin jest wybuch choroby, a ca³kowity ich deficyt, jak przy szkorbucie, prowadzi do œmierci w przeci¹gu kilku miesiêcy.
Dziœ, choæ do rzadkoœci nale¿¹ choroby spowodowane ostrym niedoborem witamin, takie jak: szkorbut, beri-beri, czy krzywica, szerz¹ siê schorzenia spowodowane chronicznym niedoborem sk³adników od¿ywczych, a liczba ofiar stale roœnie. Ka¿dy z nas, w mniejszym lub wiêkszym stopniu cierpi na deficyt witamin i czêsto uzmys³awia sobie to po raz pierwszy wtedy, gdy choroba rozwija siê i jest ju¿ z regu³y za póŸno. Przypomnij sobie opisane w poprzednich rozdzia³ach choroby, spowodowane niedoborem sk³adników od¿ywczych, takie jak: zawa³ serca, czy udar mózgu. Ich wybuch nastêpuje nagle, ale spowodowany zosta³ trwaj¹cym wiele lat przewlek³ym rozwojem choroby. G³ówn¹ przyczyn¹ wielu chronicznych schorzeñ jest sta³e wyczerpanie Ÿróde³ bioenergii w milionach komórek organizmu.
Tlen
Pokarm
· cukry · t³uszcze
· bia³ka
Brakuj¹ce Ÿród³a bioenergii
brak tlenu
brak wody
brak po¿ywienia
ca³kowity brak witamin
niedobór witamin
Wczesne sygna³y alarmowe
uduszenie
pragnienie
g³ód
brak sygna³ów!
brak sygna³ów!
Woda
Faktory komórkowe
· witaminy
· aminokwasy
· minera³y
· pierwiastki œladowe
Œmieræ nastêpuje
w ci¹gu
kilku minut
kilku dni
kilku tygodni
kilku miesiêcy (np. szkorbut)
wielu lat (np. zawa³ serca)
Medycyna komórkowa otwiera nowy rozdzia³ w medycynie i opiece zdrowotnej na ca³ym œwiecie. Podstaw¹ tego nowego medycznego punktu widzenia jest definiowanie zdrowia i choroby na poziomie komórkowym, czyli ogólnie mówi¹c: optymalne funkcjonowanie komórek organizmu jest warunkiem wstêpnym dobrego stanu zdrowia, natomiast nieprawid³owe funkcjonowanie komórek jest przyczyn¹ powstania chorób.
Medycyna komórkowa dokonuje równie¿ prze³omu w patogenezie chronicznych chorób, który wychodzi daleko poza obszar schorzeñ sercowo–naczyniowych. W rzeczywistoœci, przyczyn najczêœciej spotykanych w naszych czasach chorób nale¿y szukaæ w samych komórkach organizmu i ich wadliwych procesach metabolicznych. Powodem nieprawid³owego dzia³ania milionów komórek organizmu jest chroniczny niedobór witamin, okreœlonych aminokwasów, minera³ów, czy te¿ pierwiastków œladowych.
Medycyna komórkowa pomaga tak¿e wyjaœniæ, dlaczego w³aœnie choroba sercowo–naczyniowa jest g³ówn¹ przyczyn¹ œmierci w wielu krajach. Odpowiedz jest prosta: serce i uk³ad kr¹¿enia s¹ ze wzglêdu na wykonywan¹ pracê (pompowanie i ci¹g³y przep³yw krwi przez naczynia) najbardziej aktywnymi mechanicznie organami naszego cia³a. Przy tak du¿ym nak³adzie mechanicznym, proporcjonalnie wysokie jest te¿ zu¿ycie czynników komórkowych. Spróbuj porównaæ silnik, czyli najbardziej aktywn¹ czêœæ Twojego samochodu, wymagaj¹c¹ szczególnej pielêgnacji i regularnego uzupe³niania stanu oleju – z Twoim sercem. Ono równie¿ potrzebuje szczególnego traktowania i regularnego dop³ywu odpowiednich sk³adników od¿ywczych.
I.Zdrowie i choroba okreœlone s¹ na poziomie milionów komórek tworz¹cych nasze cia³o i organy.
II.Witaminy i inne komórkowe sk³adniki od¿ywcze potrzebne s¹ w niezliczonych reakcjach biochemicznych, zachodz¹cych w ka¿dej komórce. D³ugotrwa³y niedobór witamin i innych niezbêdnych sk³adników prowadzi do niedoczynnoœci komórek i stanowi g³ówn¹ przyczynê chorób serca i uk³adu kr¹¿enia oraz innych chronicznych schorzeñ.
III.Choroby serca i uk³adu kr¹¿enia wystêpuj¹ szczególnie czêsto, poniewa¿ komórki uk³adu kr¹¿enia zu¿ywaj¹ du¿e iloœci witamin i innych niezbêdnych substancji. Wysokie obci¹¿enie mechaniczne serca i œcian naczyñ krwionoœnych, spowodowane biciem serca i przep³ywem krwi wyjaœnia podwy¿szone zu¿ycie komórkowych sk³adników od¿ywczych.
IV.Optymalne dostarczanie w diecie witamin i innych komórkowych sk³adników od¿ywczych jest kluczem do skutecznej profilaktyki i leczenia chorób serca i uk³adu kr¹¿enia, jak równie¿ innych chronicznych schorzeñ.
Zamieszczony na nastêpnej stronie schemat przedstawia, w jaki sposób okreœlone komórkowe sk³adniki od¿ywcze wype³niaj¹ ¿yciowo wa¿n¹ funkcjê noœników bioenergii w metabolizmie komórkowym:
•Acetylokoenzym A (acetylo-CoA), wa¿ny zwi¹zek metaboliczny ka¿dej komórki. Jest on niezbêdny w przemianach katabolicznych t³uszczów, wêglowodanów i bia³ek i ich zamiany w bioenergiê. Acetylo-CoA jest równie¿ zwi¹zkiem wyjœciowym do licznych syntez zachodz¹cych w organizmie. Ta kluczowa moleku³a naszej przemiany materii potrzebuje do w³asnej syntezy – witaminy B5 (kwasu pantotenowego), elementu sk³adowego koenzymu A. Niedobór witaminy B5 prowadzi do obni¿enia poziomu acetylu-koenzymu A oraz do „zastoju” metabolicznego. Mo¿e to spowodowaæ wzrost poziomu cholesterolu i innych t³uszczów we krwi. Optymalne dostarczanie witaminy B5 likwiduje ten zastój i prowadzi do niezak³óconej produkcji energii komórkowej.
•Witamina B3 (niacyna) jest moleku³¹ transportuj¹c¹ energiê dla jednego z najwa¿niejszych noœników energii komórkowej – dwunukleotydu nikotynamidoadeninowy (NAD). Witamina C wspomaga proces przy³¹czania siê atomów wodoru do zubo¿a³ych w energiê moleku³ transportowych NAD i przez to – do dodania biologicznej energii. Bogate w energiê moleku³y noœne NAD-H dysponuj¹ zatem energi¹ potrzebn¹ do tysiêcy reakcji metabolicznych. Odpowiednie dostarczanie witaminy B3 i witaminy C jest wiêc niezbêdne dla utrzymania optymalnego transportu energetycznego.
•Witamina B2 (ryboflawina) oraz witamina C razem dzia³aj¹ w podobny sposób. Witamina B2 jest strukturalnym sk³adnikiem moleku³y transportuj¹cej energiê – dwunukleotydu flawinoadeninowego (FAD), a witamina C dostarcza bioenergii potrzebnej do aktywacji milionów bogatych w bioenergiê moleku³ FADH2.
Komórkowe sk³adniki od¿ywcze
Produkcja bioenergii w ka¿dej komórce
Wa¿ne noœniki bioenergii
Wa¿ne sk³adniki od¿ywcze dostarczaj¹ bioenergiê do ka¿dej komórki.
Œwiatowy sukces terapeutyczny komórkowych sk³adników od¿ywczych w walce z chorobami serca i uk³adu kr¹¿enia zosta³ udokumentowany naukowo. Równie¿ dok³adnie poznane zosta³y wszystkie sk³adniki od¿ywcze i ich biochemiczny sk³ad. Dziêki temu, sukcesy zdrowotne pacjentów, opisane w mojej ksi¹¿ce mo¿na powielaæ, co oznacza, ¿e ka¿dy z nas, bez wzglêdu na miejsce zamieszkania, mo¿e ten sukces powtórzyæ. Nad ka¿dym z licznych komórkowych sk³adników od¿ywczych przeprowadzono niezliczon¹ iloœæ badañ naukowych. Dzia³ania poszczególnych sk³adników zosta³y podsumowane w tym rozdziale, a co ciekawe – te informacje znajdziesz równie¿ we wszystkich czo³owych podrêcznikach biologii i biochemii, jak chocia¿by w standardowej pozycji „Biochemistry”, której autorem jest profesor Uniwersytetu Stanforda – Lubert Stryer.
Podczas gdy w podrêcznikach biochemii znajdziesz dok³adne informacje na temat znaczenia dla zdrowia witamin i innych sk³adników komórkowych, to zapewne zaskoczony bêdziesz prawie ca³kowitym brakiem tych ¿yciowo wa¿nych informacji w podrêcznikach medycznych. Wiod¹cy podrêcznik dla kardiologów – Heart Disease – A Textbook of Cardiovascular Medicine (Choroby serca. Podrêcznik kardiologii) Eugena Braunwalda pojawi³ siê na rynkach ksiêgarskich w czwartym ju¿ wydaniu. Na blisko 1800 stronach poœwiêconych chorobom serca, autor nie wspomnia³ ani razu o witaminie C. Teraz okazuje siê, ¿e niedobór witaminy C jest g³ówn¹ przyczyn¹ chorób serca!
Œwiatowa medycyna doœwiadczy ju¿ w nastêpnych latach rewolucyjnego przewrotu. Ksi¹¿ka, któr¹ w³aœnie trzymasz w rêku, doprowadzi do konstruktywnych zmian w sposobie myœlenia i dzia³ania. Dlatego zwracam siê w niej te¿ do szybko rosn¹cej liczby lekarzy: otwórzcie siê na uzasadnione naukowo, naturalne metody leczenia! Bezdyskusyjne oraz nie do podwa¿enia s¹ nastêpuj¹ce cechy i mechanizmy dzia³ania wa¿niejszych komórkowych sk³adników od¿ywczych:
Witamina C
• jest nieodzowna przy stabilizacji naczyñ krwionoœnych, tkanek miêœnia sercowego i innych organów cia³a;
• odgrywa wa¿n¹ rolê w szybkim gojeniu ran, w³¹czaj¹c w to miliony mikroskopijnych zranieñ i uszkodzeñ w œcianach naczyñ krwionoœnych;
• jest najwa¿niejszym przeciwutleniaczem w organizmie. Optymalna iloœæ witaminy C skutecznie chroni uk³ad kr¹¿enia oraz organizm przed biologiczn¹ korozj¹;
• jest znacz¹cym biokatalizatorem dla niezliczonej iloœci etapów reakcji przemian metabolicznych np. przy rozk³adzie cholesterolu;
• jest niezast¹pionym dawc¹ bioenergii metabolicznej dla wa¿niejszych noœników energii NAD-H, NADP-H, FAD-H.
Witamina E (tokoferol)
• jest najwa¿niejszym, rozpuszczalnym w t³uszczach antyoksydantem;
• chroni cz¹steczki t³uszczów we krwi przed utlenieniem np. LDL;
• chroni przed utlenianiem b³ony zewnêtrzne milionów komórek organizmu, nie wy³¹czaj¹c komórek serca i œcian têtnic;
• zmniejsza lepkoœæ p³ytek krwi i wp³ywa na optymalny przep³yw krwi;
Beta-karoten (prowitamina A)
• jest nastêpnym, wa¿niejszym antyoksydantem rozpuszczalnym w t³uszczach;
• wp³ywa na optymaln¹ lepkoœæ krwi i zmniejsza ryzyko powstawania zakrzepów;
Witamina B1 (tiamina)
• jest kofaktorem dla pirofosforanu, jednego z najwa¿niejszych biokatalizatorów przemiany materii.
• wnosi wk³ad w utrzymanie optymalnej gospodarki energetycznej komórek serca, uk³adu kr¹¿enia i innych organów.
Witamina B2 (ryboflawina)
• stanowi strukturaln¹ czêœæ FAD – transportera energii we wszystkich komórkach.
Witamina B3 (niacyna, witamina PP)
• jest czêœci¹ sk³adow¹ moleku³ transportuj¹cych energiê – NAD i spokrewnionych noœników energii; witamina C ponownie „³aduje” bioenergi¹ „zu¿yte” noœniki; z powodu wysokiego nak³adu pracy komórek miêœnia sercowego niezbêdny jest optymalny dop³yw tego „biologicznego paliwa”.
Witamina B5 (kwas pantotenowy)
• jest czêœci¹ sk³adow¹ acetylokoenzymu A – kluczowej moleku³y przemiany materii ka¿dej komórki organizmu. Jest ona niezbêdna w przemianach komórkowych wêglowodanów, t³uszczów i bia³ek;
• jest nieodzowna w zapobieganiu „zastoju” metabolicznego.
Witamina B6 (pirydoksyna)
• jej fosforanowa pochodna – fosforan pirydoksalu jest jednym z wa¿niejszych biokatalizatorów w przemianach aminokwasów i bia³ek, w komórkach organizmu;
• jest niezast¹piona przy produkcji czerwonych krwinek, noœników tlenu do komórek uk³adu kr¹¿enia oraz do wszystkich innych komórek cia³a.
Witamina B12 (kobalamina)
• jest równie¿ niezbêdna do produkcji erytrocytów – krwinek czerwonych;
• jest niezast¹piona dla prawid³owych przemian bia³ek i okreœlonych kwasów t³uszczowych;
• niedobór witaminy B12 powoduje z³oœliw¹ anemiê – ciê¿k¹ formê niedokrwistoœci.
Kwas foliowy
• odgrywa równie¿ decyduj¹c¹ rolê w transporcie tlenu, przez wspó³udzia³ w regulacji tworzenia i dojrzewania krwinek czerwonych. Trzy ostatnie witaminy stanowi¹ dobry przyk³ad wzajemnej wspó³pracy, dlatego bardzo wa¿na jest znajomoœæ w³asnych potrzeb: w jakich iloœciach i które z tych naturalnych substancji potrzebuje mój organizm dla optymalnego funkcjonowania?
Biotyna
• jest jednym z wa¿niejszych biokatalizatorów w metabolizmie wêglowodanów, t³uszczów oraz bia³ek.
Inozytol
• jest biokatalizatorem w metabolizmie bia³ek, t³uszczów i wêglowodanów;
• jest tak¿e poœrednikiem w wymianie biologicznej informacji
pomaga w opracowaniu informacji przekazanej komórkom, na przyk³ad tej zawartej w hormonach. Znaczenie inozytolu, dla chocia¿by uk³adu kr¹¿enia, jest oczywiste, poniewa¿ w³aœnie tam ogromn¹ rolê w regulacji pracy serca odgrywaj¹ hormony, takie jak: adrenalina, czy insulina.
Witamina D
• jest niezbêdna jest do prawid³owego metabolizmu wapnia i fosforu w organizmie;
• jest potrzebna do wzrostu i ustabilizowania koœci i zêbów. Przez wieki niedobór witaminy D by³ czêst¹ przyczyn¹ chorób u dzieci, powoduj¹c zahamowanie wzrostu oraz zniekszta³cenie budowy;
• potrzebna jest tak¿e dla optymalnego metabolizmu wapnia w œcianach naczyñ krwionoœnych, tak¿e do usuwania wapnia ze z³ogów mia¿d¿ycowych.
Minera³y
• s¹ miêdzy innymi wa¿nymi dla ¿ycia katalizatorami, niezbêdnymi w du¿ej liczbie reakcji, zachodz¹cych podczas przemian metabolicznych. Najwa¿niejszymi spoœród nich s¹ wapñ, magnez i potas.
Wapñ
• pe³ni ró¿norodne funkcje w uk³adzie sercowo – naczyniowym. Przede wszystkim odpowiada za utrzymanie prawid³owej czynnoœci serca, przez wp³yw na przewodzenie impulsów nerwowych;
• pe³ni szczególnie istotn¹ rolê w procesie kszta³towania siê tkanki kostnej.
Magnez
• jest naturalnym antagonist¹ wapnia;
• pomaga obni¿yæ wysokie ciœnienie krwi;
• wp³ywa na normalizacjê nieregularnego bicia serca.
Potas
• jest szczególnie istotny w regulacji impulsów nerwowych, w³¹czaj¹c w to regulacjê systemu wytwarzania i przewodzenia impulsów serca.
Pierwiastki œladowe
• s¹ wa¿nymi dla ¿ycia biokatalizatorami, niezbêdnymi w tysi¹cach biochemicznych reakcji przemiany materii. Du¿¹ rolê w metabolizmie odgrywaj¹ nastêpuj¹ce z nich: cynk, mangan, miedŸ, selen, chrom i molibden. Ju¿ sama ich nazwa wskazuje, ¿e s¹ potrzebne tylko w nieznacznych, œladowych iloœciach. Jednak najmniejszy brak jakiegokolwiek z pierwiastków œladowych wywo³uje objawy niedoboru i nieprawid³ow¹ przemianê materii organizmu.
Aminokwasy
• s¹ jednostkami strukturalnymi bia³ek. Wiêkszoœæ aminokwasów w naszym organizmie pochodzi z bia³ek zawartych w naszej codziennej diecie. Wiele z nich mo¿e zostaæ w razie potrzeby wytworzonych w organizmie; nosz¹ one nazwê aminokwasów endogennych. Aminokwasy, których nasz organizm nie potrafi wyprodukowaæ, nosz¹ nazwê aminokwasów egzogennych.
Lizyna
• jest aminokwasem egzogennym, co oznacza, ¿e musi on zostaæ dostarczony z pokarmem;
• jest wa¿nym elementem buduj¹cym kolagen i inne moleku³y stabilizuj¹ce;
• jest wa¿n¹ substancj¹ „teflonow¹” œcian têtnic;
• jest substancj¹ wyjœciow¹ do produkcji w³asnej organizmu –aminokwasu karnityny.
Prolina
• jest strukturaln¹ jednostk¹ moleku³ kolagenu;
• wspó³uczestniczy w „teflonowej” ochronie œcian têtnic;
• w przeciwieñstwie do lizyny, mo¿e byæ produkowana w organizmie – jest wiêc aminokwasem endogennym, jednak produkowane iloœci proliny s¹ czêsto niewystarczaj¹ce.
Arginina
• jest substancj¹ wyjœciow¹ dla uwolnienia tlenku azotu, najsilniejszego, znanego czynnika rozkurczaj¹cego œciany naczyñ krwionoœnych i normalizuj¹cego podwy¿szone ciœnienie têtnicze;
• zmniejsza lepkoœæ p³ytek krwi i usprawnia przep³yw krwi.
Karnityna
• jest wytwarzana przez organizm, czêsto jednak w niewystarczaj¹cych iloœciach. Optymalny dodatek karnityny jest niezbêdny dla:
• niezak³óconej przemiany t³uszczów, szczególnie trójglicerydów;
• spe³nienia wa¿nej roli, jako transportera materia³ów energetycznych np. kwasów t³uszczowych do biologicznej elektrowni komórki: mitochondriów;
• optymalnego dzia³ania komórek miêœnia sercowego, które z powodu wysokich nak³adów pracy, maj¹ szczególnie du¿e zapotrzebowanie na karnitynê;
• poprawy pracy serca jako pompy przy niewydolnoœci serca – jak udowodni³y badania kliniczne;
• normalizacji rytmu serca u pacjentów z arytmi¹ – jak udowodni³y badania kliniczne. W obu przypadkach karnityna poprawia energetyczn¹ wydajnoœæ i przez to sprawnoœæ milionów komórek miêœnia sercowego.
Cysteina
•jest wa¿n¹ substancj¹ wyjœciow¹ do produkcji glutationu, jednego z najbardziej znacz¹cych antyoksydantów. Wraz z innymi, jest on odpowiedzialny za ochronê tkanek organizmu przed wolnymi rodnikami.
Koenzym Q-10
• znany te¿ jako ubichinon, odgrywa wyró¿niaj¹c¹ rolê biokatalizatora w ³añcuchu oddechowym, zachodz¹cym w centrum energetycznym komórek – mitochondriach;
• jest szczególnie wa¿ny dla zaopatrzenia komórek miêœniowych organizmu w bioenergiê, w³¹cznie z tkank¹ miêœnia sercowego, w której obrót koenzymu Q10 jest szczególnie wysoki, ze wzglêdu na nak³ad wykonywanej pracy.
Piknogenol
• nale¿y do grupy bioflawonoidów, które spe³niaj¹ istotn¹ rolê biokatalizatorów w ro¿nych przemianach metabolicznych;
• wspomaga stabilizuj¹ce dzia³anie witaminy C na tkankê ³¹czn¹, w³¹cznie z tkank¹ œcian naczyñ krwionoœnych;
• jest wa¿nym antyoksydantem.
Najnowsze wyniki prowadzonych doœwiadczeñ i badañ klinicznych poszerzaj¹ ci¹gle nasz¹ wiedzê, dotycz¹c¹ niezwykle istotnego znaczenia komórkowych sk³adników od¿ywczych w zachowaniu ludzkiego zdrowia. Jest tylko kwesti¹ czasu, by ta wiedza sta³a siê dobrem powszechnym, nie tylko dla œwiata medycznego, ale równie¿ dla ca³ej ludzkoœci. W tym interesie powsta³a moja ksi¹¿ka.
Zamieszczona poni¿ej tabela pokazuje efektywne dzia³anie terapeutyczne i brak jakichkolwiek skutków ubocznych stosowanych sk³adników od¿ywczych, w porównaniu z konwencjonalnymi preparatami, proponowanymi przez przemys³ farmaceutyczny np. aspiryna, czy leki obni¿aj¹ce poziom cholesterolu.
Naukowo potwierdzone dzia³anie: komórkowe leki sk³adniki farmaceutyczne od¿ywcze
a) w œcianie têtnicy: stabilizacja ? Tak proces leczenia ? Tak ochrona „teflonowa” ? Tak
ochrona antyoksydacyjna ? Tak
energia komórkowa ? Tak zmniejszone napiêcie œcian ? Tak
b) w strumieniu krwi: ? Tak
obni¿enie czynników ryzyka Tak Tak
skorygowana lepkoϾ ? Tak
energia komórkowa ? Tak
2.
powa¿nych skutków ubocznych: leki obni¿aj¹ce poziom ryzyko chorób nowotworocholesterolu wych, uszkodzenia w¹troby aspiryna krwawienia ¿o³¹dka, jelit, mózgu (udary)
komórkowe skutki uboczne – brak; sk³adniki od¿ywcze substancje naturalne
medycyna komórkowa: porównanie celów terapeutycznych
Medycyna konwencjonalna
Moje zalecenia dotycz¹ce zdrowia komórkowego wytrzymuj¹ porównanie z wszelkimi innymi metodami farmakologicznymi w zakresie zdrowia uk³adu kr¹¿enia. Leki medycyny konwencjonalnej skupiaj¹ siê na symptomach, takich jak: obni¿anie poziomu cholesterolu, redukcja innych czynników ryzyka, zmiana stylu ¿ycia. Metody te chybiaj¹ kluczowych celów w zapewnieniu zdrowia uk³adu kr¹¿enia, takich jak optymalna stabilnoœæ i naprawa naczyñ, ochrona antyoksydacyjna oraz zapewnienie komórkom bioenergii.
Niejasne cele medycyny konwencjonalnej na poziomie komórkowym
A.Wewn¹trz œciany naczynia
•?
•?
•?
•?
•?
•?
•?
B.We krwi
•Obni¿anie poziomu cholesterolu
•?
•? + Zdrowy styl ¿ycia
Choroba wieñcowa
?
W¹tpliwe powstrzymanie i wyleczenie choroby
W odró¿nieniu od medycyny konwencjonalnej, moje zalecenia dotycz¹ce zachowania zdrowia komórkowego maj¹ zdefiniowane biologiczne cele. Naukowe podstawy medycyny komórkowej okreœlaj¹ cele terapeutyczne w specyfice chorób serca i uk³adu kr¹¿enia, uwzglêdniaj¹c profilaktykê i leczenie w dotychczas nieprzewidzianym zakresie. Przy tym wzmacniana jest stabilnoœæ œciany naczynia krwionoœnego, uruchomione zostaj¹ mechanizmy procesu leczenia naczyñ, zapewniona zostaje ochrona antyoksydacyjna i „teflonowa”. Najwa¿niejsze biologiczne cele tej naturalnej terapii sercowo–naczyniowej z u¿yciem komórkowych sk³adników od¿ywczych podsumowuje poni¿szy rysunek.
Jasne cele medycyny komórkowej
A.Wewn¹trz œciany naczynia
•stabilizacja œciany naczynia
•leczenie œciany
•cofniêcie siê z³ogów
•ochrona „teflonowa”
•ochrona antyoksydacyjna
•zapewnienie komórkom bioenergii
•rozluŸnienie œciany naczynia
B.We krwi
•obni¿enie poziomu czynników ryzyka
•optymalna lepkoœæ krwi
•zdrowe komórki krwi
Zdrowy styl ¿ycia
Medycyna konwencjonalna a medycyna komórkowa: porównanie skutecznoœci i bezpieczeñstwa
SkutecznoϾ
Terapia konwencjonalna ogranicza siê w zasadzie do leczenia jednego po drugim symptomów choroby sercowo–naczyniowej. Jako ¿e wiêkszoœæ pacjentów z niewydolnoœci¹ serca cierpi równoczeœnie na wiele ro¿nych dolegliwoœci, czêsto przepisuje im siê kilka lekarstw.
Zalecane przeze mnie naturalne substancje od¿ywcze dostarczaj¹ „paliwa komórkowego” do milionów komórek, usuwaj¹ przyczyny i stwarzaj¹ mo¿liwoœci jednoczesnej poprawy b³êdnego funkcjonowania komórek w ró¿nych obszarach uk³adu kr¹¿enia.
Medycyna konwencjonalna ³agodzi objawy
Typ leków Leczenie objawów
Azotany Dusznica bolesna (Objawy)
Leki przeciwarytmiczne Zaburzenia rytmu (Objawy) i przewodnictwa serca
Beta-blokery Nadciœnienie têtnicze (Objawy)
Leki moczopêdne Niewydolnoœæ serca (Objawy) (diuretyki)
Medycyna komórkowa usuwa le¿¹ce u podstaw choroby przyczyny
Choroba wieñcowa
Komórkowe sk³adniki od¿ywcze
NiewydolnoϾ serca
Arytmia serca
Nadciœnienie têtnicze „Paliwo komórkowe” dla wszystkich komórek i organów
Kolejn¹ wa¿n¹ przewag¹ moich zaleceñ wobec konwencjonalnych terapii lekowych jest bezpieczeñstwo ich stosowania oraz fakt, i¿ nieznane s¹ dzia³ania uboczne. Aspekty bezpieczeñstwa sk³adników od¿ywczych poruszy³ i podsumowa³ dr A. Bendich, na ³amach artyku³u opracowanego dla New York Academy of Sciences (Nowojorskiej Akademii Nauk). Wykaza³ on, ¿e wszystkie plotki na temat dzia³añ ubocznych witamin s¹ bezpodstawne i rozpowszechniane w interesie przemys³u farmaceutycznego, w celu wytworzenia fa³szywej zale¿noœci pacjentów od wy¿ej wymienionych leków przepisywanych na receptê.
Sposób dzia³ania komórkowych sk³adników od¿ywczych w porównaniu z ryzykiem konwencjonalnej terapii farmakologicznej znajdziesz w tabeli poni¿ej:
Medycyna konwencjonalna
Terapia Potencjalne Dokumentacja
dzia³ania uboczne
Leki obni¿aj¹ce Nowotwory, uszkodzenie Konsultacja lekarska poziom w¹troby, zanik miêœni (PDR) cholesterolu
Aspiryna
Zawa³ serca, udar mózgu, PDR wrzód ¿o³¹dka, rozpad kolagenu Brooks
Blokery wapnia Nowotwory Psaty
Medycyna komórkowa
Terapia Potencjalne Dokumentacja
dzia³ania uboczne
Komórkowe Nieznane Bendich
sk³adniki od¿ywcze (patrz: spis literatury)
Starzenie siê organizmu jest powoln¹ form¹ choroby sercowo–naczyniowej. Prêdkoœæ, z jak¹ siê starzejesz, zale¿na jest wprost od stanu zdrowia Twojego uk³adu kr¹¿enia. Szczególnie wa¿ne jest optymalne dzia³anie œcian, licz¹cego 100 000 kilometrów d³ugoœci ruroci¹gu têtnic, ¿y³ i naczyñ w³osowatych, poniewa¿ system naczyñ krwionoœnych nieustannie zaopatruje wszystkie organy Twojego cia³a i miliardy komórek w tlen i niezbêdne dla ¿ycia sk³adniki pokarmowe.
Twój organizm ma tyle lat, ile Twój uk³ad kr¹¿enia.
• Je¿eli siê w porê nie zabezpieczysz, postêpuj¹cy proces starzenia doprowadzi do stopniowego pogrubienia œcian naczyñ krwionoœnych i w konsekwencji do b³êdnego funkcjonowania miliardów komórek. To spowoduje dalsze przyspieszenie procesu starzenia poszczególnych organów i ca³ego organizmu.
• Komórkowe sk³adniki od¿ywcze chroni¹ w sposób naturalny nie tylko Twoje serce i uk³ad kr¹¿enia, ale spowolniaj¹ proces starzenia siê organizmu i wnosz¹ wk³ad w d³ugie i zdrowe ¿ycie.
•Dlaczego wczeœniej nie s³ysza³eœ o tym prze³omie wmedycynie
•Dziesiêæ praw przemys³u farmaceutycznego
•Oszukañcze sztuczki farmaceutycznego profitu z chorób
•Kamienie milowe na drodze do wyeliminowania chorób serca i uk³adu kr¹¿enia
•Podstawy nowego systemu opieki zdrowotnej
Podczas lektury zawartych w tej ksi¹¿ce informacji o znacz¹cych korzyœciach p³yn¹cych ze stosowania witamin, mo¿na zadaæ sobie pytanie: „Dlaczego nie s³ysza³em jeszcze o tych wa¿nych dla zdrowia i ¿ycia informacjach? Dlaczego nie s¹ one wykorzystywane przez ka¿dego lekarza i w ka¿dym szpitalu? Dlaczego kluczowy fakt, ¿e zwierzêta nie maj¹ zawa³ów, poniewa¿ produkuj¹w³asn¹ witaminê C, nie jest rozpowszechniany przez wszystkie kana³y radiowe i telewizyjne, nie jest og³aszany na pierwszych stronach gazet? Dlaczego nasze dzieci nie ucz¹ siê o tych wa¿nych zagadnieniach ju¿ w przedszkolu?”
OdpowiedŸ jest prosta. Istnieje przemys³, którego ekonomiczn¹ podstawê stanowi zbiór dzia³añ polegaj¹cych na blokowaniu, t³umieniu i dyskredytowaniu wszelkich informacji na temat mo¿liwoœci naturalnej eliminacji chorób. To nie dziwi, jako ¿e 80% produktów farmaceutycznych nie wykazuje ¿adnego leczniczego dzia³ania, a wy³¹cznie maskuje symptomy choroby. Musimy zdaæ sobie sprawê z faktu, ¿e istot¹ tego przemys³u jest czerpanie zysku z istniej¹cych chorób. Wyleczenie lub eliminacja chorób doprowadzi do spadku rentownoœci wartego biliony dolarówrynku farmaceutyków.
Zachêcam Ciê do przeczytania i przemyœlenia kilku nastêpuj¹cych wa¿nych ustêpów o istocie przemys³u farmaceutycznego. Zrozumiesz wówczas charakter „zorganizowanego systemu oszustw”. Zrozumiesz zasady dzia³ania rynku farmaceutycznego i puste obietnice, jak np. „szukamy nowych œrodków w leczeniu chorób”, czy „my przed³u¿amy ¿ycie”, przy czym rzeczywistoœci¹od prawie stu lat jest fakt ekonomicznych podstaw przemys³u, opartych na czerpaniu jak najwiêkszych profitów z istnienia chorób.
•Witaminy eliminuj¹ choroby izagra¿aj¹ kartelowi farmaceutycznemu
•Witaminy nie podlegaj¹ patentom
•Witaminy przynosz¹ ma³e zyski
Brak inwestycji w badania itesty kliniczne
Niewielka iloœæ informacji obadaniach nad zdrowotnymi w³aœciwoœciami witamin wczasopismach medycznych iw mediach
Badania nad lekami syntetycznymi podlegaj¹cymi patentom
Kosztuj¹ce setki miliardów dolarów kampanie reklamowe farmaceutyków
Brak informacji o zdrowotnych w³aœciwoœciach witamin wpodrêcznikach i na uczelniach medycznych
Ca³e pokolenia lekarzy opuszczaj¹ uczelnie medyczne z niewystarczaj¹c¹ wiedz¹ ozdrowotnych w³aœciwoœciach witamin
Wp³yw na badania medyczne iedukacjê medyczn¹ nawszystkich poziomach
Zawód lekarza zosta³ sprowadzony do roli pomocnika przy sprzeda¿y farmaceutyków
Miliony pacjentów zmar³o wci¹gu tego stulecia naskutek chorób, którym mo¿na zapobiegaæ
Pospolite choroby szerz¹ siê jak epidemie, a koszty opieki zdrowotnej rosn¹ w b³yskawicznym tempie
Przemys³ farmaceutyczny oparty jest na dwóch œmiertelnych filarach.
A¿ do dzisiaj przemys³ farmaceutyczny przedstawia siê jako dobroczyñca ludzkoœci, bez którego nie mo¿e obejœæ siê ¿adne nowoczesne spo³eczeñstwo. Prosta analiza podstaw przemys³u farmaceutycznego ujawnia jednak bli¿szy rzeczywistoœci obraz. Poni¿sze podsumowanie ukazuje, ¿e ka¿de spo³eczeñstwo dopiero wówczas bêdzie zdrowsze i bogatsze finansowo, gdy zakoñczy pozbawione skrupu³ów dzia³ania przemys³u farmaceutycznego, czerpi¹cego miliardowe profity z chorób:
1. Przemys³ farmaceutyczny nie jest naturalnie rozwijaj¹cym siê przemys³em w ramach ochrony zdrowia, ale zosta³ stworzony sztucznie, jako przemys³ inwestycyjny, oparty na oszukañczej obietnicy zapewnienia zdrowia.
2. Rynkiem zbytu przemys³u farmaceutycznego jest Twoje cia³o – ale tylko tak d³ugo, jak pozostaje ono chore.
3. Zapobieganie, leczenie przyczyn, a ponad wszystko eliminacja chorób ograniczaj¹ lub niszcz¹ rynki zbytu i przez to nie le¿¹ w interesie tej ga³êzi przemys³u.
4. Ogromna wiêkszoœæ farmaceutyków nie jest skuteczna w eliminacji chorób i maskuje – w najlepszym wypadku –symptomy.
5. Podstaw¹ ogromnych profitów przemys³u farmaceutycznego s¹ op³aty patentowe, przede wszystkim za nowo stworzone, syntetyczne substancje, obce dla ludzkiego organizmu.
6. Prawie wszystkie preparaty farmaceutyczne zawieraj¹ w swoim sk³adzie syntetyczne moleku³y, które musz¹ byæ w pierwszej kolejnoœci zneutralizowane i wydalone przez organizm ludzki. Je¿eli zachodz¹cy proces odtrucia nie zostaje przeprowadzony do koñca, regu³¹ jest wyst¹pienie dzia³añ ubocznych, czêsto œmiertelnych. To œwiadome
dzia³anie ma na celu dalsze zwiêkszenie miliardowych rynków zbytu dla nowych farmaceutyków.
7. Aby ukryæ gigantyczny, oszukañczy schemat „farmaceutycznego profitu z chorób”, bran¿a farmaceutyczna wydaje wiêcej pieniêdzy na reklamê, lobbing i inne zwodnicze dzia³ania, ni¿ na rzeczywiste badania medyczne.
8. Witaminy i inne naukowo udokumentowane naturalne metody terapeutyczne zagra¿aj¹ podstawie farmaceutycznej egzystencji – „profitu z chorób” z dwóch powodów: po pierwsze – eliminuj¹ przyczyny choroby ju¿ na poziomie komórkowym, co prowadzi do naturalnej profilaktyki, leczenia i d³ugoterminowo –do usuniêcia chorób. Po drugie, w zasadzie nie podlegaj¹ one patentom i s¹ przez to nierentowne.
9. Skuteczne, pozbawione dzia³añ ubocznych naturalne terapie zdrowotne s¹ z gruntu sprzeczne z „miliardowym profitem zchorób”. Naturalna i farmaceutyczna medycyna nie mog¹ wspó³istnieæ z powodu zró¿nicowania interesów, a ka¿de dzia³anie podejmowanie w ramach zachowania naturalnego zdrowia, jest zwalczane.
10. Warunkiem wstêpnym d³ugotrwa³ej dobrej koniunktury dla przemys³u farmaceutycznego jest wyeliminowanie naturalnych metod terapii.
Koncerny farmaceutyczne wydaj¹ dwa razy wiêcej œrodków na reklamowanie leków ni¿ na prowa dzenie badañ.
Za pomoc¹ tego schematu oszustw przemys³ farma ceutyczny trzyma ¿ycie i zdrowie milionów oby wateli oraz gospodarki wszystkich krajów jako zak³adników „profitu z chorób”.
Oszukañcze kampanie reklamowe, takie jak opisana poni¿ej, daj¹ milionom ludzi fa³szyw¹ nadziejê.
farmaceutycznego profitu z chorób
Przez ponad sto lat grupy finansowe, zwi¹zane z przemys³em farmaceutycznym a przede wszystkim tzw. Grupa Rockefellera, ustala³y strategie bran¿y inwestycyjnej przemys³u farmaceutycznego. Od pocz¹tku istnienia d¹¿y³y one do jednego celu: zast¹pienia naturalnych, nie podlegaj¹cych patentom metod terapeutycznych przez syntetyczne, podlegaj¹ce patentom preparaty farmaceutyczne i przez to do ustanowienia œwiatowego monopolu w „rzekomym” lecznictwie.
Pozbawione skrupu³ów chwyty, jakie przemys³ farmaceutyczny stosowa³ w konstruowaniu globalnego oszustwa mo¿na podsumowaæ w nastêpuj¹cych punktach:
1.My, mieszkañcy œwiata, byliœmy z rozmys³em utrzymywani wniewiedzy: Prawie 100 lat po tym, jak Albert Szent–Gyoergy odkry³ moleku³ê witaminy C, niewielu ludzi wie, ¿e nasze organizmy nie produkuj¹ tej wa¿nej ¿yciowo substancji. Teraz okazuje siê, ¿e witamina C jest najwa¿niejsz¹ moleku³¹ stabilizuj¹c¹ œciany naczyñ krwionoœnych i przez to zapobiega chorobom serca i uk³adu kr¹¿enia.
Czy wierzysz w to, ¿e Twój brak wiedzy w tym rozstrzygaj¹cym dla zdrowia punkcie jest przypadkowy? Czy rozumiesz, ¿e Twoi
Bez wiedzy, ¿e cia³o ludzkie nie mo¿e produkowaæ w³asnej witaminy C, nasze organizmy wysychaj¹ i staj¹ siê pustyni¹. Przemys³ farmaceutyczny móg³by ju¿ dawno temu zaopatrzyæ nas w„wodê”, ale tego nie zrobi³, czerpi¹c jednoczeœnie miliardowe zyski ze sprzeda¿y „kropelek”.
rodzice, dziadkowie – ca³e generacje z rozmys³em utrzymywane by³y w niewiedzy, dotycz¹cej w³asnego zdrowia? Czy poznajesz pozbawion¹ skrupu³ów grupê finansow¹ – farmaceutyczn¹ grupê inwestycyjn¹, która wstrzymywa³a wszelkie informacje dotycz¹ce zachowania zdrowia tak d³ugo,¿e choroba sercowo –naczyniowa przyjê³a w XX wieku rozmiary epidemii?
I to wszystko wydarzy³o siê tylko w celu zadoœæuczynienia finansowej ¿¹dzy stworzenia miliardowego rynku beta-blokerów, antagonistów wapnia i innych zorientowanych na symptomy preparatów farmaceutycznych. Jeœli to wszystko wydaje Ci siê nieprawdopodobne – przemyœl po prostu jeszcze raz.
2.Rozpowszechnianie k³amstw o znaczeniu dla zdrowia witamin i naturalnych metod leczniczych: Gdy prawda ozdrowotnych w³aœciwoœciach witamin rozprzestrzenia siê izaczyna zagra¿aæ farmaceutycznemu „profitowi z chorób”, wówczas kartel farmaceutyczny rozpêtuje zakrojon¹ na skalê globaln¹ k³amliw¹ kampaniê, maj¹c¹ na celu dyskredytacjê naturalnych, nie podlegaj¹cych patentom metod leczniczych. Przez lata nie istnia³a taka choroba, pocz¹wszy od raka, askoñczywszy na uszkodzeniach nerwów, która nie by³aby wykorzystywana przez przemys³ farmaceutyczny w k³amliwej kampaniiantywitaminowej. Jeœli jednak któraœ z tych „farmaceutycznych bajeczek” okaza³aby siê prawd¹, to pozostalibyœmy jedynym gatunkiem na naszej planecie Ziemi: wiêkszoœæ innychistot ¿ywych wyginê³aby dawno temu, poniewa¿ produkuj¹ one du¿e iloœci witaminy C we w³asnych organizmach, ciesz¹c siê przy tym wyœmienitym zdrowiem. Jak ju¿ sami wiemyico podkreœla tytu³ mojej ksi¹¿ki, fakt produkcji witaminy C wywiera na zdrowie niezaprzeczalny, pozytywny wp³yw.
Kartel farmaceutyczny ukrywa swe protekcjonistyczne zamiary pod pozorami „ochrony konsumentów”. Przedstawiciele kartelu farmaceutycznego przez lata spotykali siê „za zamkniêtymi drzwiami” wMinisterstwie Ochrony Konsumentów w Berlinie, wNiemczech, w celu forsowania w³asnego globalnego planu. Uwaga: kartel musi byæ chroniony przed konsumentami drutem kolczastym!
3.Wprowadzenie prawnego zakazu wypowiedzi na temat roli witamin i naturalnych terapii w zachowaniu zdrowia: Kolejnym krokiem kartelu farmaceutycznego, w celu powstrzymania szybko rozprzestrzeniaj¹cej siê informacji ozdrowotnym znaczeniu naturalnych terapii, jest wykorzystanie politycznych wp³ywów. Poprzez rzesze lobbystów, miliardowe dotacje partyjne i skorumpowane pieni¹dze, kartel farmaceutyczny podkupuje rz¹dy i parlamenty prawie wszystkichuprzemys³owionych krajów œwiata. Dzieje siê to w celu ugruntowania œwiatowego monopolu farmaceutycznego, opartego na wy³¹cznoœci metod terapeutycznych i eliminacji konkurencji w postaci naturalnych, nie podlegaj¹cych patentom metod leczniczych. Komisja Europejska i Komisja ONZ „Codex Alimentarius” przedsiêwziê³y ju¿ kroki maj¹ce doprowadziæ do przeforsowania zapisu ograniczaj¹cego dostêp do terapii witaminowych i innych naturalnych œrodków ochrony zdrowia. Kartel farmaceutyczny jest jednym zpierwszych sektorów gospodarki, który próbuje chroniæ swoje pozbawione skrupu³ów przedsiêwziêcia i brudne interesy poprzez dzia³ania legislacyjne obejmuj¹ce tworzenie miêdzynarodowego prawa protekcjonistycznego.
Piêæset lat temu Koœció³ gromadzi³ miliardy sprzedaj¹c swoim wiernym odpusty, maj¹ce stanowiæ „klucze do nieba”. Wefekcie ten oszukañczy system rozpad³ siê, a wraz z nim znaczna czêœæ potêgi Koœcio³a. Dzisiaj podobnym, opartym na oszustwie systemem pos³uguje siê przemys³ farmaceutyczny, próbuj¹c sprzedawaæ milionom ludzi „klucze do zdrowia” iinkasuj¹c biliony dolarów w zamian za iluzjê, ¿e zdrowie Twoje iinnych le¿y w jego interesie.
Bior¹c pod uwagê ten stan rzeczy, oczywista staje siê koniecznoœæ natychmiastowego stworzenia nowego systemu opieki zdrowotnej. Wyzwolenie z jarzma przemys³u farmaceutycznego poskutkuje natychmiastow¹ i bezpoœredni¹ korzyœci¹ dla milionów ludzi, przedsiêbiorstw oraz sektorów publicznych we wszystkich krajach. Ten nowy system opieki zdrowotnej polega na wzbogacaniu wiedzy i wspó³uczestnictwie milionów ludzi, a nadrzêdnym jego celem jest podstawowa prewencja zdrowotna – zrozumia³a, dostêpna i osi¹galna dla ka¿dego. Ju¿ do przesz³oœci nale¿y epoka w historii, w której pytania dotycz¹ce naszego zdrowia kierowano wy³¹cznie do bogac¹cego siê na nas przemys³u.
Nowy system opieki zdrowotnej skupia siê w pierwszym rzêdzie na prewencji i profilaktyce zdrowotnej oraz na eliminacji chorób.Miejsce wielu dzisiejszych wysoko wyspecjalizowanych placówek medycznych zajm¹ doradcy do spraw zdrowia i centra zdrowia. Ka¿dy sklep ze zdrow¹ ¿ywnoœci¹ stanowi ju¿ pocz¹tek komunalnego centrum zdrowia.
Nowy system opieki zdrowotnej budowany jest przez zaanga¿owanych laików, którym towarzyszy wzrastaj¹ca liczba lekarzy ispecjalistów do spraw zdrowia. Wiêkszoœæ tych ostatnich uœwiadomi³o sobie, ¿e sami weszli w uk³ady z koncernami farmaceutycznymi i stali siê ofiarami polityki zdrowotnej, k³ad¹cej nacisk na masowe u¿ywanie leków.
Jak to siê dzieje, ¿e miliony ludzi wci¹¿ gotowe s¹ p³aciæ miliardy dolarów za leki, które nie lecz¹, a czêsto jeszcze szkodz¹?
W ci¹gu ostatniego stulecia kartel farmaceutyczny wraz ze swoj¹ armi¹ lobbystów przenikn¹³ do wszystkich sektorów naszego spo³eczeñstwa. Zbudowali oni w sposób planowy zawi³y labirynt manipulacji, oszustw i metod kontroli. Najwa¿niejsze elementy tego schematu przedstawione zosta³y na s¹siedniej stronie:
• Manipulowanie wynikami naukowymi w taki sposób, ¿e „medycyn¹” staj¹ siê syntetyczne leki, a nie naturalne metody terapeutyczne.
• Poparcie lekarzy i innych specjalistów zajmuj¹cych siê sprawami zdrowia, rekomenduj¹cych nieskuteczne lekarstwa farmaceutycznego „profitu z chorób”. Wielu z tych ludzi sta³o siê„ofiarami”, poniewa¿ podczas swej edukacji medycznej zostali pozbawieni odpowiedniej wiedzy w zakresie medycyny ¿ywienia.
• Wprowadzanie w b³¹d przez kosztuj¹ce wiele milionów dolarów kampanie reklamowe w telewizji i innych œrodkach masowego przekazu, które ok³amuj¹ opiniê publiczn¹ wkwestii efektywnoœci farmaceutyków i zagro¿eñ zwi¹zanych z ich stosowaniem.
• Regulacje i akty prawne wprowadzone przez odpowiednie instytucje i polityków pod naciskiem armii lobbystów przemys³u farmaceutycznego.
Kartel farmaceutyczny
Kartel farmaceutyczny wykorzystuje kluczowe sektory naszego spo³eczeñstwa.
•Nauka
•Badania
•Akty prawne
•Regulacje
prawne
Ka¿dego roku miliony ludzi
„dobrowolnie”
•Lekarze
•Farmaceuci
Manipulacje
Poparcie
•Telewizja i radio
•Gazety
Regulacje prawne
Wprowadzanie w b³¹d
p³aci kartelowi farmaceutycznemu miliardy Euro za leki, które im nie pomagaj¹, aczêsto szkodz¹.
W przysz³oœci ¿aden kraj nie bêdzie móg³ sobie pozwoliæ na obci¹¿enie w³asnego bud¿etu wymaganiami przemys³u farmaceutycznego, który rozwija siê jak nowotwór kosztem obywateli sektora prywatnego oraz sektora publicznego. Wszystkie te grupy cierpi¹ z powodu rosn¹cych gwa³townie kosztów opieki zdrowotnej, wynikaj¹cych z cen nieskutecznych leków.
Ksi¹¿ka, któr¹ trzymasz w rêkach na zawsze zmieni ten stan rzeczy.
przez nasz¹ Koalicjê na Rzecz Zdrowia.
Nie ma w¹tpliwoœci: prze³om drugiego i trzeciego tysi¹clecia ³¹czy siê z ogólnoœwiatow¹ zmian¹ w opiece zdrowotnej. W tym czasie miliony ludzi budzi siê i uœwiadamia sobie, ¿e sta³o siê ofiarami oszukañczego systemu zdrowotnego, który jest tylko iluzj¹. Fakt, ¿e zdemaskowanie tego schematu oszustwa trwa³o tak d³ugonie jest niespodziank¹. Ci, którzy odnosz¹ korzyœci finansowe zoszustwa –przedstawiciele przemys³u farmaceutycznego i ich poplecznicy –robi¹ wszystko, aby ich przedsiêwziêcia nigdy nie ujrza³y œwiat³a dziennego.
Informacje zawarte w tej ksi¹¿ce sta³y siê kluczem do prawdy. Teraz, gdy fakty naukowe nie mog¹ byæ ju¿ d³u¿ej ukrywane, gdy pacjenci, lekarze i przedstawiciele zawodów zwi¹zanych ze zdrowiem korzystaj¹ z prze³omowych odkryæ w dziedzinie naturalnego zdrowia, dokonuje siê przewrótna skalê œwiatow¹. Dziesi¹tki tysiêcy ludzi na ca³ym œwiecie, bez wzglêdu na miejsce zamieszkania, ju¿ dzia³aj¹ wspólnie wnaszejKoalicji w Obronie Zdrowia w celu wprowadzenia nowego systemuopieki zdrowotnej w Europie, Ameryce, jak równie¿ w licznych krajach rozwijaj¹cych siê.
W œwiecie, w którym sektor opieki zdrowotnej zmonopolizowanyjest przez tych, którzy zarabiaj¹ pieni¹dze na istnieniu chorób, nie mo¿esz siê spodziewaæ, ¿e ktokolwiek dobrowolnie zaproponuje Ci zdrowie. Wrêcz przeciwnie, musisz zrozumieæ, ¿e Ty sam musisz siê broniæ przed zach³annoœci¹ finansowych grup interesów zwi¹zanych z zarabianiem na chorobach i wci¹¿ na nowo musisz walczyæ o prawo do zdrowia, a w szczególnoœci oTwoje prawo do naturalnego zdrowia.
Jeœli wydaje Ci siê, ¿e to stwierdzenie jest zbyt mocne, przyjrzyj siê historii najwiêkszej organizacji zajmuj¹cej siê sprawami zdrowia na Ziemi, Œwiatowej Organizacji Zdrowia (WHO). To ogólnoœwiatowa organizacja utworzona zosta³a w roku 1948, w celu poprawy stanu zdrowia ludzkoœci w skali globalnej. Do wczesnychlat szeœædziesi¹tych g³ówne wysi³ki WHO, maj¹ce prowadziæ do
osi¹gniêcia tego celu, skupia³y siê na rozpowszechnieniu informacji o znaczeniu dla zdrowia odpowiedniego od¿ywiania, zuwzglêdnieniem witamin i innych niezbêdnych sk³adników.
Jednak kartel farmaceutyczny potrzebowa³ niewiele mniej ni¿ dekadê, aby przenikn¹æ do tej œwiatowej organizacji izmieniæ j¹ w jej w³asne przeciwieñstwo. W konsekwencji przez ostatnie 40 lat WHO by³o instrumentem w rêkach przemys³u farmaceutycznego, d¹¿¹cego do stworzenia globalnego rynku lekarstw. Rozpowszechnianie informacji oznaczeniu dla zdrowia nie podlegaj¹cych patentom, naturalnych sk³adników od¿ywczych oraz o naturalnych metodach terapii zostaje skutecznie blokowane przezWHO wpozbawionej skrupu³ów walce. Wykorzystuj¹cWHO, kartel farmaceutyczny od pocz¹tku zepchn¹³ namargines programy ¿ywieniowe iedukacjê w tym zakresie, a teraz zwalcza je nawet wprost za pomoc¹ komisji Codex Alimentarius oraz innych œrodków. Naturalnie WHO i Codex Alimentarius nie s¹ osamotnione – zdrowotne i polityczne sektory prawie wszystkich krajów uprzemys³owionych stanowi¹ lobby najbardziej lukratywnej bran¿y inwestycyjnej na œwiecie – bran¿y farmaceutycznej.
Wyjaœnienie tego faktu jest bardzo proste – profity z dzia³alnoœci by³y i s¹ tak gigantyczne, ¿e kartel farmaceutyczny móg³ bez problemu przekupiæ ca³e rz¹dy.
Przedstawione fakty wskazuj¹ na koniecznoœæ wprowadzenia jak najszybszych zmian. Pokazuj¹ równie¿, ¿e nonsensem by³oby oczekiwanie zmian ze strony wy¿ej wymienionych instytucji, tym bardziej, ¿e nie by³yby one w stanie czegokolwiek zagwarantowaæ bez uprzedniego zreformowania od podstaw swoich systemów.
Równie¿ najwiêksza organizacja zdrowia na œwiecie, jak¹ jest WHO, jest sukcesywnie infiltrowana i dlatego nie jest w stanie stworzyæ nowego systemu opieki zdrowotnej o zasiêgu œwiatowym. Wszystkie te fakty zadecydowa³y o powo³aniu do ¿ycia koalicji ludzi, którzy zobowi¹¿¹ siê do budowy nowego systemu opieki zdrowotnej tam gdzie mieszkaj¹ i pracuj¹, w miastach ina wsiach. To w³aœnie jest zadaniem „Koalicji Dr Ratha w Obronie Zdrowia”.
S¹ cztery g³ówne obszary aktywnoœci naszej Koalicji:
1. Naturalne zdrowie: Poprawa stanu w³asnego zdrowia oraz stanu zdrowia innych poprzez wykorzystanie prze³omowych odkryæ w dziedzinie medycyny komórkowej, opisanych w tej ksi¹¿ce.
2. Lecznictwo naturalne – badania naukowe: Promocja badañ w dziedzinie medycyny komórkowej i naukowo potwierdzonych naturalnych metod leczniczych. Nasz niezale¿ny Instytut Badañ nad Medycyn¹ Komórkow¹ prowadzi nieustanne prace w dziedzinie zaniedbanej przez przemys³ farmaceutyczny od ponad 100 lat – dziedzinie obejmuj¹cej medycynê komórkow¹ i inne naukowo potwierdzone naturalne metody,które s¹ podstaw¹ lecznictwa skutecznego, pozbawionego dzia³añ ubocznych i dostêpnego dla ka¿dego.
3. Edukacja zdrowotna: Uœwiadomienie znaczenia dla zdrowia witamin, medycyny komórkowej i innych naturalnych metod leczniczych – za³o¿eniem do stworzenia nowego systemu opieki zdrowotnej. Jako ¿e telewizja i inne œrodki masowego przekazu nie kwapi¹ siê do porzucenia najbardziej dochodowych za¿y³oœci z farmaceutycznym przemys³em „profitu zchorób”, jest tylko jedna droga zakoñczenia epoki k³amstw ioszustw w dziedzinie zdrowia: musisz osobiœcie pomóc rozpowszechniæ tê ratuj¹c¹ ¿ycie informacjê o badaniach nad witaminami i medycynie komórkowej. Zachêcamy Ciê do przekszta³cenia pokoju w Twoim domu w „centrum doradcze medycyny komórkowej”. To ma³e centrum kszta³cenia, wktórymbêdziesz zbiera³ wa¿ne ¿yciowo informacje w dziedzinie witamin i badañ nad komórkami, stanie siê odpowiedzi¹ na pytania dotycz¹ce zdrowia dla Ciebie samego, Twojej rodziny, przyjació³ i s¹siadów.
4. Obrona wolnoœci dla terapii witaminowych: jest rozstrzygaj¹cym krokiem do praktycznego wykorzystania wiedzy zawartej w mojej ksi¹¿ce. Nie bez powodu znaczna czeœæ tej ksi¹¿ki jest opisem grup interesu, szczególnie tych zaanga¿owanych i odnosz¹cych ekonomiczne korzyœci zfarmaceutycznego „profitu z chorób”. Je¿eli chcesz zakoñczyæ to zorganizowane oszustwo – musisz siê aktywnie w³¹czyæ wdzia³ania promuj¹ce podstawowe prawa cz³owieka, czyli prawo do zdrowia i wolnego dostêpu do witamin oraz innych naturalnych metod leczniczych. Musisz jasno okreœliæ swoje stanowisko i przeciwstawiæ siê próbom dzia³añ legislacyjnych podjêtych przez przemys³ farmaceutyczny, maj¹cych na celu urzêdowy zakaz – na poziomie krajowym imiêdzynarodowym – nie podlegaj¹cych patentom metod leczniczych.
W maju roku 2001, otrzyma³em od Amerykañskiego Towarzystwa Medycyny Zapobiegawczej Nagrodê Przedmurza Wolnoœci (Bulwark of Liberty Award) „w uznaniu za niezwyk³y wysi³ek w³o¿ony w rozwój nauki o ¿ywieniu, edukacjêopinii publicznej w zakresie zdrowotnych w³aœciwoœci sk³adników od¿ywczychoraz skoñczenie z cenzurowaniem przez rz¹d informacji o naturalnym zdrowiu”.
Wiêkszoœæ cz³onków naszej Koalicji stanowi¹ pacjenci, którzy przez dziesiêciolecia znajdowali siê w œlepej uliczce zorientowanej farmaceutycznie medycyny konwencjonalnej. Jednak zpomoc¹ badañ nad witaminami oraz formu³ medycyny komórkowej, pacjenci ci odzyskali zdrowie i jakoœæ ¿ycia. Wiele tysiêcy tych pacjentów z Europy, Ameryki i innych kontynentów jest ¿yj¹cym dowodem na to, ¿e medycyna komórkowa jest rzeczywistoœci¹ i w³aœnie rozpoczê³a siê nowa epoka w dziedzinie zdrowia.
Ale do wspó³pracy zapraszam nie tylko pacjentów. Kimkolwiek jesteœ i gdziekolwiek mieszkasz, jeœli chcesz wzi¹æ odpowiedzialnoœæ za Twoje w³asne zdrowie oraz pomóc innym poprawiæ stan ich zdrowia, zapraszam Ciê do przy³¹czenia siê do nas. Zostañ wraz z nami architektem nowego sytemu zdrowotnego. Myœlê nie tylko o pacjentach, ale tak¿e o m³odych ludziach, w których rêkach le¿y przysz³oœæ tego œwiata. Mój apel do m³odzie¿y: posiadacie teraz najwiêkszy dar ¿ycia, nale¿¹cy tylko do was samych i ca³ej ludzkoœci – tym darem jest zdrowie. To bezcenne dobro mo¿e jednak zostaæ zagrabione przez jedn¹ ga³¹Ÿ przemys³u, by w ten sposób napêdzaæ ko³o miliardowych zysków zchorób. Przy³¹czcie siê do nas! Rysuje siê szczególnie dla was wspania³a perspektywa zawodowa w dziedzinie doradztwa izaopatrzenia zdrowotnego.
1Zdrowie jest zrozumia³e dla ka¿dego. Przyczyny zdrowia i choroby s¹ dla ka¿dego jednoznaczne: miliony komórek organizmu potrzebuj¹ do prawid³owego funkcjonowania biologicznej energii w formie witamin, minera³ów i pierwiastków œladowych.
2Zdrowie jest osi¹galne dla ka¿dego. Medycyna komórkowa i codzienne dostarczanie witamin oraz innych noœników bioenergii pozwala ka¿demu na skuteczn¹ profilaktykê chorób cywilizacyjnych, a w wielu przypadkach na leczenie przyczynowe.
3Zdrowie bez dzia³añ ubocznych jest bezpieczne dla ka¿dego. Natura sama dostarcza nam witamin oraz innych skutecznych substancji zapobiegawczych i leczniczych do zwalczania ludzkich chorób. S¹ one bezpieczne dla ka¿dego i pozbawione dzia³añ ubocznych. Przeciwieñstwo stanowi¹ preparaty farmaceutyczne – czwarta, co do czêstotliwoœci przyczyna œmierci.
4Zdrowie jest dostêpne dla ka¿dego. Skuteczne przedsiêwziêcia zdrowotne w ramach medycyny komórkowej iinnych naturalnych terapii stanowi¹ u³amek kosztów zdrowotnych ponoszonych przez jakiekolwiek pañstwo na œwiecie i prawdziw¹ finansow¹ alternatywê. Wprowadzenie medycyny komórkowej jako oficjalnej metody leczniczej pozwoli natychmiast zaoszczêdziæ biliony dolarów wprywatnych i publicznych bud¿etach.
5Zdrowie jest prawem cz³owieka. Posiadanie dostêpu do optymalnego stanu zdrowia jest podstawowym ludzkim prawem. ¯aden koncern farmaceutyczny ani ¿aden rz¹d nie ma prawa do ograniczania rozpowszechniania informacji o zdrowotnych w³aœciwoœciach witamin i innych naturalnych metod terapii. Wszystkie kraje œwiata powinny ulepszyæ swoje konstytucje tak, aby zagwarantowaæ swoim obywatelom mo¿liwoœæ utrzymania optymalnego stanu zdrowia.
6Skuteczna opieka zdrowotna skupia siê na zapobieganiu. Medyczne badania naukowe i ochrona zdrowia skupi¹ siê w przysz³oœci na zapobieganiu chorobom oraz ich eliminacji bardziej ni¿ na sposobach terapii, które lecz¹ zaledwie objawy chorób.
7Podstaw¹ nowego systemu zdrowotnego jest podstawowa opieka zdrowotna. Dobrze funkcjonuj¹cy system, skupiaj¹cy centra konsultacyjne w ka¿dej miejscowoœci, dzielnicy, czy ulicy jest przes³ank¹ do powstania skutecznej i dostêpnej opieki zdrowotnej w ka¿dym kraju. Konsultanci zdrowotni oraz centra zdrowia w ka¿dej spo³ecznoœci zast¹pi¹ nieefektywne i drogie wysi³ki medycyny wysokich technologii.
8Medyczne badania naukowe musz¹ zostaæ poddane kontroli publicznej. Fundusze publiczne na badania wmedycynie powinny byæ wydawane przede wszystkim na rozwój metod leczniczych zapobiegaj¹cych chorobom ieliminuj¹cych choroby, a nie na rozwój rynku leków farmaceutycznych.
•O Autorze
•Literatura
•Inne pomocne Ÿród³a
Dr med. Matthias Rath jest s³ynnym na ca³ym œwiecie lekarzem i naukowcem, który doprowadzi³ do prze³omu w naturalnym zapobieganiu i leczeniu mia¿d¿ycy – g³ównej przyczyny zawa³ów serca i udarów mózgu. Za ten prze³om dr Rath otrzyma³ pierwszy na œwiecie patent w dziedzinie naturalnego leczenia choroby sercowonaczyniowej. Dr Rath jest twórc¹ medycyny komórkowej, nowego naukowego rozumienia przyczyn dzisiejszych chorób cywilizacyjnych (w³¹czaj¹c w to choroby serca oraz nowotwory) jako konsekwencji d³ugotrwa³ego niedoboru witamin, minera³ów oraz innych biokatalizatorów metabolizmu komórkowego.
Obok publikowanych ksi¹¿ek popularno-naukowych, dr Rath jest autorem licznych publikacji naukowych w renomowanych czasopismach naukowych na ca³ym œwiecie, miêdzy innymi w Arteriosclerosis (Mia¿d¿yca) Amerykañskiego Towarzystwa Serca oraz w Proceedings of the National Academy of Sciences (Doniesienia Narodowej Akademii Nauk), USA. Jego ksi¹¿ki zosta³y przet³umaczone na ponad 10 jêzyków, miliony ich egzemplarzy zosta³y sprzedane na ca³ym œwiecie.
Dr Rath jest za³o¿ycielem i kierownikiem miêdzynarodowego instytutu badawczo–rozwojowego, który stawia sobie za cel eliminacjê wiêkszoœci najbardziej rozpowszechnionych wspó³czesnych chorób za pomoc¹ medycyny komórkowej oraz skutecznych i niedrogich naturalnych metod terapii.
Dr Rath by³ pierwszym, który w swoim „Programie z Chemnitz” w 1997 roku domaga³ siê prawnego zakazu oszukañczych manipulacji przemys³u farmaceutycznego, czerpi¹cego zawrotne zyski z istnienia chorób.
Œwiatowe uznanie uzyska³ dr Rath nie tylko za swoje osi¹gniêcia naukowe, ale równie¿ za cywiln¹ postawê w walce z potêg¹ kartelu farmaceutycznego.
Inspiracjê do pracy znajdujê w przyrodzie. Najbardziej odkrywcze myœli przychodzi³y mi do g³owy na ³onie natury, w ciszy i samotnoœci.
Pragnê podziêkowaæ wszystkim ludziom, bez których ten medyczny prze³om w kierunku opanowania choroby sercowo-naczyniowej odsun¹³by siê w czasie na wiele lat. Szczególne podziêkowania sk³adam na rêce pani dr Aleksandry Niedzwieckiej, mojej wieloletniej wspó³pracowniczki, dziêkujê ca³emu zespo³owi badawczemu w naszym instytucie, pracownikom, cz³onkom Koalicji na Rzecz Zdrowia oraz milionom naszych przyjació³ na ca³ym œwiecie, którzy wspieraj¹ mnie w walce o wyzwolenie ludzkiego zdrowia. Je¿eli w przysz³oœci ksi¹¿ki opisywaæ bêd¹ ten historyczny proces, to wy bêdziecie w³aœnie tymi, którym przysz³e pokolenia zawdziêczaæ bêd¹ wyzwolenie spod manipulacji zdrowiem i ¿yciem ludzkim.
Moje podziêkowania kierujê równie¿ do wszystkich tych, których sceptycyzm i g³os sprzeciwu stanowi dla mnie nieocenione Ÿród³o inspiracji.
Wiêkszoœæ przytoczonych medycznych i naukowych czasopism jest dostêpna tylko w jêzyku angielskim. Powodem tego jest zbyt ma³a liczba badañ prowadzonych w tym kierunku, w krajach europejskich. Zainteresowani znajd¹ w poni¿szej bibliografii przegl¹d najwa¿niejszych publikacji na ten temat.
Moja ksi¹¿ka, choæ w pierwszym rzêdzie przeznaczona jest dla szerokiego grona czytelników, stanowi te¿ zaproszenie dla moich kolegów – lekarzy i studentów medycyny w Europie. Przytoczony przegl¹d literatury umo¿liwi Wam pog³êbienie wszystkich zawartych w niej informacji.
1. World Health Statistics (Statystyki stanu zdrowia na œwiecie), Œwiatowa Organizacja Zdrowia, Genewa, 1994.
2. Brown MS, Goldstein JL.: How LDL receptors influence cholesterol and atherosclerosis (Wp³yw receptorów LDL na poziom cholesterolu i rozwój mia¿d¿ycy). Scientific American 1984; 251:58-66.
3. Steinberg D, Parthasarathy S, Carew TE, Witztum JL.: Modifications of low-density lipoprotein that increase its atherogenicity (Modyfikacje lekkiej frakcji lipoprotein podwy¿szaj¹ce ich aterogennoœæ). N Engl. J Med. 1989; 320:915-924.
4. Ross R.: The pathogenesis of atherosclerosis-an update (Patogeneza mia¿d¿ycy – uaktualnienie). N Engl. J Med. 1986; 314:488-500.
5. Rath M, Pauling L.: A unified theory of human cardiovascular disease leading the way to the abolition of this diseases as a cause for human mortality (Zunifikowana teoria rozwoju choroby sercowo-naczyniowej pozwalaj¹ca na wyeliminowanie œmiertelnoœci schorzenia wœród ludzi). J Ortho Med. 1992; 7:5-15.
6. Rath M, Pauling L.: Solution to the puzzle of human cardiovascular disease: Its primary cause is ascorbate deficiency, leading to the deposition of lipoprotein (a) and fibrinogen/fibrin in the vascular wall (Rozwi¹zanie ³amig³ówki ludzkiej choroby sercowonaczyniowej. Niedobory askorbinianu prowadz¹ce do tworzenia z³ogów lipoprotein (a) i fibrynogenu / w³óknika w œcianie naczyñ g³ówn¹ przyczyn¹ choroby). J Ortho Med 1991; 6:125-134.
7. Rath M.: Reducing the risk for cardiovascular disease with nutritional supplements (Zmniejszanie ryzyka rozwoju choroby sercowo-naczyniowej metod¹ wzbogacania diety). J Ortho Med 1992; 3:1-6
8.Stryer L.: Biochemistry (Biochemia), wyd. 3., Nowy Jork, W. H. Freeman and Company; 1988.
9.Stary HC.: Evolution and progression of atherosclerotic lesions in coronary arteries of children and young adults (Powstawanie i rozwój zmian mia¿d¿ycowych w naczyniach wieñcowych u dzieci i m³odych doros³ych). Atherosclerosis (Dodatek) 1989; 9:I-19- I-32.
10. Constantinides P.: The role of arterial wall injury in atherogenesis and arterial thrombogenesis (Rola uszkodzeñ œciany têtnic w aterogenezie i trombogenezie têtnic). Zentralbl allg Pathol pathol Anat. 1989; 135:517-530
11. Stolman JM, Goldman HM, Gould BS.: Ascorbic acid in blood vessels (Kwas askorbinowy w naczyniach krwionoœnych). Arch Pathol. 1961; 72:59-68
12. Patent amerykañski nr 5 278 189
13. Agatston AS, Janowitz WR, Kaplan G, Gasso J, Hildner F, Viamonte M.: Ultrafast computed tomography—detected coronary calcium reflects the angiographic extent of coronary arterial atherosclerosis (Zwapnienia wieñcowe wykrywane metodami superszybkiej tomografii komputerowej odpowiednikiem rozmiarów mia¿d¿ycy wieñcowej diagnozowanej angiograficznie). Am J Cardiology. 1994; 74:1272-1274.
14. Budoff MJ, Georgiou D, Brody A i wsp.: Ultrafast computed tomography as a diagnostic modality in the detection of coronary artery disease (Superszybka tomografia komputerowa jako alternatywna metoda diagnostyki choroby wieñcowej). Circulation. 1996; 93:898-904.
15. Mautner SI, Mautner GC, Froehlich J i wsp.: Coronary artery disease: prediction with in vitro electron beam CT (Choroba wieñcowa: prognozowanie rozwoju technik¹ tomografii komputerowej wi¹zk¹ elektronow¹ in vitro). Radiology. 1994; 192:625630.
16. Murad S, Grove D, Lindberg KA, Reynolds G, Sivarajah A, Pinnell SR.: Regulation of collagen synthesis by ascorbic acid (Kontrola syntezy kolagenu kwasem askorbinowym). Proc Natl Acad Sci. 1981; 78:2879-2882.
17. De Clerck YA, Jones PA.: The effect of ascorbic acid on the nature and production of collagen and elastin by rat smooth muscle cells (Wp³yw kwasu askorbinowego na charakterystykê i wytwarzanie kolagenu i elastyny przez komórki miêœni g³adkich szczurów). Biochem J. 1980; 186:217-225.
18. Schwartz E, Bienkowski RS, Coltoff-Schiller B, Goldfisher S, Blumenfeld OO.: Changes in the components of extracellular matrix and in growth properties of cultured aortic smooth muscle cells upon ascorbate feeding (Zmiany sk³adu macierzy pozakomórkowej i w³asnoœci wzrostowe komórek miêœni g³adkich têtnic hodowanych na po¿ywce z askorbinianem). J Cell Biol. 1982; 92:462-470.
19. Francheschi RT.: The role of ascorbic acid in mesenchymal differentiation (Rola kwasu askobinowego w ró¿nicowaniu tkanki mezenchymatycznej). Nutr Rev. 1992; 50:65-70
20. Dozin B, Quatro R, Campanile g, Cancedda R.: In vitro differentiation of mouse embryo chondrocytes: requirement for ascorbic acid (Ró¿nicowanie in vitro mysich embrionalnych komórek chrzêstnych: zapotrzebowanie na kwas askorbinowy). Eur J Cell Biol. 1992; 58: 390-394.
21. Trieu VN, Zioncheck TF, Lawn RM, McConathy WJ.: Interaction of apolipoprotein(a) with apolipoprotein B-containing lipoproteins (Oddzia³ywanie apolipoproteiny (a) z apolipoproteinami B zawieraj¹cymi lipoproteiny). J Biol Chem. 1991; 226:54805485.
22. Boscoboinik D, Szewczyk A, Hensey C, Azzi A.: Inhibition of cell proliferation by –tocopherol. Role of protein kinase C (Hamowanie tokoferolem proliferacji komórek. Rola bia³kowej kinazy C). J Biol Chem. 1991; 266:6188-6194.
23. Ivanov V, Niedzwiecki A.: Direct and extracellular matrix mediated effects of ascorbate on vascular smooth muscle cells proliferation (Bezpoœredni i przenoszony za poœrednictwem macierzy pozakomórkowej wp³yw askorbinianu na proliferacjê komórek miêœni g³adkich naczyñ). 24th AAA (Age) and 9th Am Coll Clin Gerontol Meeting, Waszyngton, 1994; paŸ 14-18.
24. Nunes GL, Sgoutas DS, Redden RA, Sigman SR, Gravanis MB, King SB, Berk BC.: Combination of vitamins C and E alters the response to coronary balloon injury in the pig (Modyfikacja odpowiedzi na uszkodzenia balonika wieñcowego u œwiñ przez mieszankê witamin C i E). Arteriosclerosis, Thrombosis and Vascular Biology. 1995; 15:156-165.
25. Retsky KL, Freeman MW, Frei B.: Ascorbic acid oxidation product(s) protect human low density lipoprotein against atherogenic modification. Anti- rather than prooxidant activity of vitamin C in the presence of transition metal ions (Ochrona lekkiej frakcji ludzkich lipoprotein przed przemianami aterogennymi przez produkt(y) utleniania kwasu askorbinowego. Anty-, a nie prooksydacyjna aktywnoœæ witaminy C w obecnoœci jonów metali przejœciowych). J Biol Chem.1993; 268:1304-1309.
26. Sies H, Stahl W.: Vitamins E and C, -carotene and other carotenoids as antioxidants (Witaminy E i C, karoteny i inne karotenoidy jako przeciwulteniacze). Am J Clin Nutr. 1995; 62(Dodatek); 1315S-1321S.
27. Willis GC, Light AW, Gow WS.: Serial arteriography in atherosclerosis (Arteriografia w mia¿d¿ycy têtnic). Can Med Ass J. 1954; 71:562- 568.
28. Levine M, Contry-Caritilena C, Wang Y i wsp.: Vitamin C pharmacokinetics in healthy volunteers: Evidence for a recommended daily allowance (Farmakokinetyka witaminy C u zdrowych ochotników. Dane eksperymentalne dla zalecanej dawki dziennej). Proc Natl Acad Sci. 1996; 93:3704 3709.
29. Naurath HJ, Joosten E, Riezler R.: Effects of vitamin B12, folate, and vitamin B6 supplements in elderly people with normal serum vitamin concentrations (Wp³yw wzbogacania diety witamin¹ B12, folanem i witamin¹ B6 u osób starszych z normalnym poziomem witamin w osoczu). The Lancet. 1995; 346:85-89.
30. Enstrom JE, Kanim LE, Klein MA.: Vitamin C intake and mortality among a sample of the United States population (Przyjmowanie witaminy C a œmiertelnoœæ w próbce populacji ludnoœci amerykañskiej). Epidemiology. 1992; 3: 194-202.
31. Riemersma RA, Wood DA, Macintyre CCA, Elton RA, Gey KF, Oliver MF.: Risk of angina pectoris and plasma concentrations of vitamin A, C, and E and carotene (Ryzyko rozwoju dusznicy bolesnej a poziom witaminy A, C i E oraz karotenu w osoczu). The Lancet. 1991; 337:1-5.
32. Hodis HN, Mack WJ, LaBree L i wsp.: Serial coronary angiographic evidence that antioxidant vitamin intake reduces progression of coronary artery atherosclerosis (Dowody na spowolnienie rozwoju choroby wieñcowej przez przyjmowanie przeciwutleniaczy na podstawie wyników seryjnej angiografii naczyñ wieñcowych). JAMA. 1995; 273:1849 1854.
33. Morrison HI, Schaubel D, Desmeules M, Wigle DT.: Serum folate and risk of fatal coronary heart disease (Poziom folanu w osoczu a ryzyko œmiertelnej choroby wieñcowej serca). JAMA. 1996; 275:1893-1896.
34. Stephens NG, Parsons A, Schofield PM i wsp. Randomised controlled trial of vitamin E in patients with coronary disease: Cambridge Heart Antioxidant Study (CHAOS) [Kontrolowane randomizowane badanie kliniczne stosowania witaminy E u pacjentów z chorob¹ wieñcow¹. Badanie Uniwersytetu Cambrigde CHAOS (Cambrigde Heart Antioxidant Study) nad przeciwutleniaczami w chorobie serca]. The Lancet. 1996; 347:781-786.
35. Heitzer T, Just H, Münzel T.: Antioxidant vitamin C improves endothelial dysfunction in chronic smokers (Przeciwutleniaj¹ce w³asnoœci witaminy C ograniczaj¹ dysfunkcjê œródb³onka u na³ogowych palaczy). Am Heart Assoc. 1996; pozycje: 6-9.
36. Brown BG, Albers JJ, Fisher LD, Schafer SM, Lin J-T i wsp.: Regression of coronary artery disease as a result of intensive lipid-lowering therapy in men with high levels of apolipoprotein B (Regresja choroby wieñcowej w wyniku intensywnej terapii obni¿aj¹cej poziom lipidów u mê¿czyzn z wysokim poziomem apolipoprotein B). N Engl J Med. 1990; 323:1289-1298.
37. Scandinavian Simvastatin Survival Study Group.: Randomised trial of cholesterol lowering in 4444 patients with coronary heart disease: the Scandinavian Simvastatin Survival Study (4S) [Randomizowane badanie kliniczne nad obni¿aniem poziomu cholesterolu u 4444 pacjentów z chorob¹ wieñcow¹. Skandynawskie badanie 4S (Scandinavian Simvasatin Survival Study) prze¿yæ pacjentów stosuj¹cych simwastatynê]. The Lancet 1994; 344:1383-1389.
38. Newman TB, Hulley SB.: Carcinogenicity of lipidlowering drugs (Karcenogennoœæ leków obni¿aj¹cych poziom lipidów). JAMA. 1996; 275:55-60.
39. Gould KL, Ornish D, Scherwitz L i wsp.: Changes in myocardial perfusion abnormalities by positron emission tomography after long-term, intense risk factor modification (Zmiany zaburzeñ perfuzji miêœnia sercowego po d³ugotrwa³ej, intensywnej modyfikacji czynników ryzyka na podstawie tomografii PET). JAMA 1995; 274:894-901.
Interaktywna aplikacja edukacyjna Grafiki tej książki pochodzą z aplikacji bodyxq
Bodyxq jest interaktywną aplikacją, zawierającą łatwo przedstawioną wiedzę na temat zdrowia i chorób. W ten prosty sposób zachowanie zdrowia jest możliwe dla wszystkich ludzi na świecie!
Aplikację bxq można pobrać bezpłatnie
Wystarczy wpisać w wyszukiwarkę AppStore lub sklepie Google Store bodyxq lub bxq.
Interaktywne książki do nauki. Grafiki tej książki pochodzą z aplikacji CHE
CHE jest interaktywną serią książek, zawierającą ogólnie zrozumiałą wiedzę na temat zdrowia i chorób. W ten prosty sposób zachowanie zdrowia jest możliwe dla wszystkich ludzi na świecie!
Aplikację CHE można pobrać bezpłatnie
Instytut Badawczy dr Ratha z siedzib¹ w Santa Clara w Kalifornii jest wiod¹c¹ placówk¹ badawcz¹ w dziedzinie naukowo ugruntowanych naturalnych terapii.
Badania nad synergi¹ mikrosk³adników od¿ywczych
Oprócz prac badawczych nad poszczególnymi sk³adnikami naturalnymi, takimi jak witaminy, aminokwasy i ró¿ne substancje roœlinne, badana jest równie¿ synergiczna interakcja tych mikroelementów w walce ró¿nymi chorobami.
W dziedzinie chorób uk³adu kr¹¿enia zespó³ badawczy kierowany przez dr Aleksandrê Niedzwiecki skupia siê na nastêpuj¹cych problemach: mia¿d¿yca jako choroba le¿¹ca u podstaw zawa³u serca i udaru, niewydolnoœci serca, wysokiego ciœnienia krwi i arytmii. Oprócz badañ nad chorobami uk³adu kr¹¿enia kolejnym wa¿nym obszarem s¹ badania nad rakiem.
Badania nienastawione na zysk
Nasz Instytut pracuje jako organizacja non-profit, tzn., prowadzone badania nie maj¹ na celu osi¹gania komercyjnych celów i zysków. Motywem przewodnim naszych badañ jest wyjaœnienie przyczyn chorób i przedwczesnej œmierci milionów ludzi. Instytut jest wspierany przede wszystkim przez osoby, który skorzysta³y ju¿ z jego badañ i odczu³y wyraŸn¹ poprawê swojego stanu zdrowia.
Wyniki badañ Instytutu s¹ ogólniedostêpne dla wszystkich osób i mo¿na je znaleŸæ na stronie internetowej instytutu lub na stronie internetowej Pubmed.
• Pog³êbione informacje tej ksi¹¿ki w specjalnym wyk³adzie (j. ang.)
• Najczêœciej na œwiecie ogl¹dany wyk³ad na temat nowych odkryæ dotycz¹cych powstawania chorób serca
• Ponad 200.000 wyœwietleñ na Youtubie
https://www.youtube.com/watch?v=O0lEmXJD7p4
Dr. Matthias Rath, znany na arenie m i ę d z y n a r o d owe j n a u kow i e c i lekarz, dokonał przełomu w badaniach komórkowych nad witaminami. Przełom ten pozwala uratować miliony istnień ludzkich i pokonać największego współczesnego wroga – śmierć z powodu chorób serca.
Główną przyczyną miażdżycy, prowadzącej do zawału serca i udaru m ó z g u , j e s t c h r o n i c z ny n i e d o b ó r witamin i innych składników odżywczych w milionach komórek układu sercowo-naczyniowego. Podobnie, jak w przypadku choroby mar ynarzy – szkorbutu – niedobór ten powoduje osłabienie ścian naczyń kr wionośnych i przez kolejne dziesięcioleciapowstanie blaszki miażdżycowej.
➤ odpowiada na te Twoje pytania dotyczące zdrowia, na które medycyna konwencjonalna nie daje odpowiedzi. „Dlaczego dostajemy zawałów serca, a nie zawałów nosa?”, „Dlaczego dostajemy zwapnienia tętnic, a nie żył?”, „Dlaczego zwierzęta nie dostają zawałów sercatylko my, ludzie?”
➤ kończy epokę „ignorancji i niewiedzy” w dziedzinie zdrowia i związanej z nimi zależności od war tych miliardy interesów farmaceutycznych, które tak długo będą funkcjonowały, dopóki zatajane będą przed Tobą prawdziwe przyczyny powstawania chorób
➤ przedstawia sposób na stworzenie nowego, efektywnego systemu ochrony zdrowia, opar tego na zapobieganiu i zwalczaniu chorób. Taki system służył będzie ludziom, a nie akcjonariuszom koncernów farmaceutycznych.
ISBN 978-90-76332-50-5
Dochód ze sprzedaży niniejszej książki zasili konto Fundacji Zdrowia Dr Ratha i w ten sposób wspiera dalsze badania, jak i rozpowszechnianie naukowo potwier dzonych naturalnych terapii zdrowotnych.