Delta Optimist July 27 2023

Page 1

T H U R S D A Y | J U L Y 2 7 2 0 2 3 Southpointe Academy SOUTH DELTA SCHOLARSHIPS Scholarship Opportunities for South Delta Grade 10 Students Applications Due Friday, August 11 Southpointe.ca/Scholarships SEE PAGE 2 FOR MORE DETAILS (604) 809 2855 0 09 9 2 55 5 Scan Me
F2 The Delta Optimist July27,2023 Fresh Air Cinema Saturday Aug 5, 2023 Featuring the Super Mario Bros. Movie 2023 Proudly hosted by Join us at Tsawwassen Town Centre Mall for the Fresh Air Cinema. The show will start at dusk but come early for a good seat! Free event-bring your own chairs-1299 56th- West parking lot
T H U R S D A Y | J U L Y 2 7 | 2 0 2 3 JIM KINNEAR PHOTO Aerobatic pilot Pete McLeod and his Red Bull Extra 300 LX does a fly-by during Saturday’s Boundary Bay Airshow The show drew an estimated 30,000 spectators. See pages A8, A16 and 17 for more coverage and check out more photos on our website at: www.delta-optimist.com. Spectacular airshow! Southpointe Academy SOUTH DELTA SCHOLARSHIPS Scholarship Opportunities for South Delta Grade 10 Students Applications Due Friday, August 11 Southpointe.ca/Scholarships SEE PAGE 2 FOR MORE DETAILS (604) 809 2855 2 5 Scan Me

Southpointe Academy SOUTH DELTA SCHOLARSHIPS

Accepting Scholarship Applications for September 2023

Empowering Young Minds with a Future-Ready Education

An incredible opportunity for your child to receive a world-class education that prepares them for a successful future. Southpointe is proud to announce new scholarship opportunities for local students entering Grade 10 to join our world leading International Baccalaureate Continuum School.

Scholarship application deadline is Friday, August 11, 2023, for September 2023 Acceptance.

Full Scholarships for South Delta Grade 10 Students

Experience the IB Diploma Programme with a 3-year scholarship, starting in Grade 10 in preparation for completing the IB Diploma Programme in Grades 11-12. A holistic academic curriculum, unique co-curricularactivitiesandleadershipopportunitiesawait.Alongside a welcoming school community with small class sizes, exceptional teaching faculty and a dedicated University Counsellor to support achieving post-secondary goals.

Visit our website for eligibility, additional details and to submit your scholarship application!

A2 The Delta Optimist July27,2023
Southpointe.ca/Scholarships
Southpointe.ca | 1900 56 Street Tsawwassen, BC | 604-948-8826

UPFRONT

Councilrejectscommercialproposalfor12thAve.

Delta council has denied a proposal to put up a 3.5-storey office and retail building on 12th Avenue and 53A Street in Tsawwassen following a public hearing on Monday

Council’s vote was unanimous with Coun. Dylan Kruger calling for residential housing to be a priority.

“This council should be supporting more housing in Tsawwassen,” said Kruger, who added he gets calls on almost a weekly basis from citizens asking if he knows of anywhere to live. “I just can’t in good conscience, in this context of the housing crisis that we ’ re in, support changing the designation for a site that is currently housing, to commercial.”

If that exact project was closer to 56th Street, he’d support it, “because it is a good-looking building”

He pointed out that it’s an office building with potential use for medical services and said he’d like to see an application for residential use with plans for green space below the power lines, instead of a

parking lot, which was proposed in the application.

“Great building, wrong location. We need more housing and this council, I really believe, should be supporting more housing in Tsawwassen,” he said.

Coun. Alicia Guichon said she heard from residents that the project should be more of a mixed-use concept that will blend into the area

“I think the application could be improved … and address more of the residents’ concerns, ” she said.

Mayor George Harvie said he hoped the developer would go back to staff and work on an alternative design.

“Personally, I thought the development was OK, until such time as it included that single family residential lot,” he said

The proposal has been a controversial one for neighbours, who said the building didn’t fit in the residential area.

Roberta Bradshaw, representing 26 owners at Heron Place on 54A Street, spoke against the proposal saying it’s in a great family area, “ as opposed to a large, intrusive building,” and that owners she represents were hoping the

project will be revised. However, Keith McGee favoured the idea and said that having a nice office building will attract professionals

He’s a recently retired lawyer and couldn’t find modern office space in Delta and had to open an office in Surrey

“So having offices out here to attract professionals, I think, is really important to stop people having to commute … into places like Richmond, Ladner, Surrey, for their professionals,” McGee said.

Resident Tanya Hawke created an online petition that

drew 366 supporters and said they support the commercial development at the corner, but not as was currently proposed. She just wanted to pause and take another look at the proposal, adding that the building was too large and too high for that corner

FILE PHOTO
July27,2023 The Delta Optimist A3 Over 80,000 items in store! We have everything you need! Automotive, Electrical, Hardware, Plumbing, Housewares, Lumber, Paint, Seasonal Tools, Gardening Supplies, Building Material, Bird Seed and Feeders.
Following a public hearing on Monday, council voted 7-0 to reject a commercial building proposal in Tsawwassen.

Chargeslaidinfarm machinerydeath

Joan Sherry, 77, died when her Nissan Sentra struck a BC Frozen Foods-owned combine

JEREMY HAINSWORTH

Glacier Media

Delta police say a man has been charged in connection with the death of woman on a dark, rural road on the evening of Oct. 1, 2021.

Joan Sherry, 77, died at about 9:45 p.m. when her 2019 Nissan Sentra struck a BC Frozen Foods-owned combine in the area of Highway 17A and Ladner Trunk Road. It was operated by Jasdeep Singh Sandhu, Delta Police Department (DPD) records obtained by son Norm Sherry showed.

“Twenty-five-year-old Jasdeep Sandhu has been charged with dangerous operation of conveyance causing death,” the DPD confirmed to Glacier Media July 24. “As the matter is before the court, we cannot comment further”

Those records obtained by son Norm Sherry said the combine should not have been on the road, and that its operators disobeyed at least two provincial regulations

The records noted after the investigation was complete, criminal charges were not appropriate and no criminal charge recommendation was forwarded to Crown prosecutors.

At the time, DPD Insp Heath Newton said the evidence collected in the investigation did not meet charge approval standards under the

Criminal Code and that other enforcement action was taken

He said enforcement action included an order for the vehicle to be inspected for safety defects and repairs before it could move again, a violation ticket to the driver for not having rear lights, a violation ticket for failing to display flags on an oversized vehicle and a violation ticket for failing to properly equip a vehicle

Still, Norm Sherry pursued why that decision was made and what merits charges in such a case

In a Jan. 24 statement to Glacier Media, Jassie Ram, corporate services manager in the office of the chief constable, said due to the concerns brought forward by the Sherry family, the DPD sought an independent review of the investigation.

The Vancouver Police Department (VPD) traffic division conducted a review of the DPD investigation into this matter at the DPD’s request

“The VPD review validated the investigative actions of the DPD investigation,” the statement said. “However, it was recommended that based on the evidence gathered that a report should be forwarded to Crown counsel for charge assessment.”

Sandhu is due to make his first appearance on the charge in Surrey Provincial Court Aug. 8, according to court records

A4 The Delta Optimist July27,2023 | Tsawwassen Town Centre Mall Unit 107 56th Street,
Bra & Panties Collection Boutique Blanche Intimates Spring and Summer 2023 Now on sale 25% off! u m t a t Art Show and Sale July y 28 - Aug 13
Tsawwassen

Signsincityparkswarningpeopleofextremefirerisk

A Delta resident worried about wildfires has been told that the city is posting signs in its parks – just as Metro Vancouver parks is doing – warning people of the current state of danger

Debbie Schmaltz said in a letter to Delta parks and Delta Fire and Emergency Services, that she’s anxious about the safety of local parks as the fire danger rating level moves to extreme

“Recently, we have noticed at Deas Island (Regional) Park and Campbell Valley (Regional) Park that the GVRD has done a great job proactively erecting large signs at the entry of parks notifying park users of the fire dangers,” Schmaltz said. “With Watershed Park and Burns Bog being such valuable

assets to our ecosystems and with their proximity to homes and highways, when will signage be erected and park staff mobilized to oversee the safety of the forest and the safety of our communities?”

Trent Reid, Delta’s parks and rec-

reation general manager, replied that signs were to be installed at all of Delta’s heavily forested park areas.

“In addition to the fire department’s increased patrols, our bylaws and park patrol staff are also increasing their attention in our parks. Delta’s outside work crews have also been briefed on the situation and will be providing additional monitoring and support while we are in this stage of alert,” said Reid.

He pointed out that Burns Bog is closed to the public, and that both Metro Vancouver and city staff will monitor the area

Delta moved to an extreme fire danger level rating on Tuesday, July 18.

Meanwhile, Metro Vancouver issued an advisory Friday (July 21) asking people to save water to reduce the chances

of moving to Stage 2 of the Drinking Water Conservation Plan At Stage 2, lawn watering is banned.

Under Stage 1, Metro Vancouver residents can only water one day a week, for two hours only on Saturday or Sunday. The advisory asked people to follow that policy or even stop watering their lawns altogether.

Metro Vancouver said reservoir levels are within normal range, but water consumption is up by more than 20 per cent, compared to the same period last year.

Residents can be fined up to $250 for each violation under Stage 1 of the water conservation plan.

Metro Vancouver’s Drinking Water Conservation Plan is a regional policy and manages water for about 2.8 million people.

Police issue warning after home-invasion style robberies

ijacques@delta-optimist

Delta Police and Richmond RCMP have issued a public warning after learning of a possible trend emerging in which high-value cryptocurrency investors are being robbed in their own homes.

In the past year, police in Richmond and Delta have responded to several robberies whose victims are high-value cryptocurrency investors

“It appears someone is targeting these victims for cryptocurrency, and

we believe this public warning is necessary in the interest of public safety,” said S/Sgt Gene Hsieh of the Richmond RCMP Major Crime Unit.

Investigators with Richmond RCMP’s Serious Crime Unit and Delta Police are not releasing specific details on any of the incidents reported to date Nor are they speaking to the amounts of cryptocurrency involved, other than to say they are large amounts The investigations are still ongoing.

In one case, an arrest has been made, and

charges are being recommended Police have yet to confirm whether these incidents are linked, however, a discernable pattern of operating, or modus operandi (M.O.), appears to be emerging. In each of the cases, the suspects gain access to a victim’s home by posing as delivery people or persons of authority. Once let inside the home, the suspects rob the victims of information that gives access to their cryptocurrency accounts.

“The suspects appear to know the victims are

heavily invested in cryptocurrency, know where they live, and are robbing them in their own homes,” added S/Sgt.

Jill Long of Delta Police Investigative Services Investigators believe there may be other victims out there who are hesitant to report such robberies to police.

“If you or someone you know has been victimized by one of these robberies, please call police,” said Long. “You may have important information that can help our investigators.”

Police are reminding

everyone that, whether you are a high-value cryptocurrency investor or not, there are ways to prevent yourself from becoming a victim of crime in your own home.

Keep your valuables and financial information in a safe location, like a safety deposit box at a financial institution

Only discuss financial matters with those you trust, and never discuss them in public places where you can be overheard or post them on social media.

Be cautious and do

your homework when you invest Only deal with reputable brokers. Anyone with information on any of these cryptocurrency robberies is asked to contact the Richmond RCMP at 604-278-1212 or Delta Police at 604-946-4411

If you wish to remain anonymous, call Crime Stoppers at 1-800-2228477 or visit them online at www solvecrime ca

For more information on ways to protect yourself from fraudsters and scam artists, visit the Canadian Anti-Fraud Centre online

SUBMITTED PHOTO
July27,2023 The Delta Optimist A5
Metro Vancouver parks have big signs out warning of fire danger. The City of Delta says similar signs will be placed in Delta parks.
r, we noticed a gap in our curbside recycling when it me to disposing of our cookware.
ess of Ladner, we wanted to take action! rage all of our customers to dispose of their used bly. While usable cookware can be donated, your fe cookware can now be brought to us!

Guidancereleasedfor airconditioningrules

The Fraser Health Authority (FHA) and Vancouver Coastal Health (VCH) have issued new guidance for landlords and managers of rental housing, and residential strata corporations providing strata housing in the Lower Mainland

The guidance is to encourage the removal of barriers that prevent residents from staying cool during heat events.

“Landlords and strata corporations can make impactful decisions to help protect the health of residents,” said Emily Newhouse, Fraser Health Medical Health Officer “We’re recommending they remove barriers that prevent residents from staying cool.”

B C is experiencing higher annual summer temperatures and more extremely hot days due to climate change Western Canada is already on average one to two degrees warmer than it was in the 1940s.

During the 2021 heat dome, a high percentage of the people who died lived alone in housing without air conditioning

The Summer Heat, Smoke And Health: Recommended Actions For Owners And Managers Of Rental And Strata Housing was developed to help residents adapt to the changing climate, no matter what kind of housing they live in

The new guidance

posted on both the VCH and Fraser Health websites and sent to local landlord and strata associations for dissemination also includes information about who is most at risk from high heat, advice for heat wellness checks among residents and neighbours, creating a cool room in buildings with common areas, and more

Additional information related to heat and air quality for the general public and for businesses, non-governmental agencies, schools and child-care facilities, and other sectors can be found here: www.vch. ca/heat and www.fraserhealth ca/heatsafety

-Submitted

A6 The Delta Optimist July27,2023 FREE Quote FREE Measuring FREE Drawings 604-943-7721 www.deltaclosets.ca Proudly serving South Delta for over 12 years! Call today to book your free in-home quote *Valid for August 2023 only. This sale is nonretroactive. SUPPORT LOCAL! SUMMER SALE! 20% OFF 0% Closets of all finishes and styles Home Offices Entertainment Units All August Orders

MorepublicfastchargeEV stationscomingtoDelta

SANDOR GYARMATI

sgyarmati@delta-optimist com

More public electric vehicle fast charging stations are coming to Delta. Council has agreed to approve a statutory right-of-way agreement between the city and BC Hydro for a pad mounted transformer and related infrastructure to supply power for future fast charge stations at South Delta Recreation Centre.

In 2019, BC Hydro installed a Level 3 DC fast charge station at the rec centre to fill a gap in its provincial network of DC fast charge stations A licence agreement was signed with the city at the time to allow for the use of two parking stalls

Delta’s contribution to the project was the provision of space.

A staff report also notes the station can charge one vehicle at a time and has been well used since it was installed

BC Hydro is further expanding its

network of public DC fast charge stations and identified the South Delta Recreation Centre site as an ideal location

Council previously approved an amendment to a licence agreement with BC Hydro for the use of four additional parking stalls adjacent to the existing stalls, which will facilitate the installation of three more charging stations.

BC Hydro plans to install the additional stations later this year

However, BC Hydro also identified that an electric supply upgrade is required in the form of a pad mounted transformer to be located in the boulevard area adjacent to the parking lot and charging stations, so a statutory right-of-way is required.

A few weeks ago, during an update to council on Delta’s Electric Vehicle Strategy, which was endorsed in 2020, it was noted that Level 3 charging stations come at a significant cost compared to Level 2 stations.

July27,2023 The Delta Optimist A7 More Cars for Less... at Delta Auto 236-513-5571 5101 Ladner Trunk Road, Ladner 2009 Land
Rover HSE • Automatic, fully loaded, cooled & heated seats • back up camera and much more • only 148,000 kms –SALE $16,888 2008 BMW 550 Automatic, A/C, US vehicle, back up sensors, heated seats, brand new tires and rims Only 138,000 kms SALE $9,995 2007
RDX Leather, automatic, and much more, this vehicle has lots of life left, 300,000 kms SALE $5,688 2001
EX Automatic, power group, sunroof, only 113,000 kms SALE $7,888 2014 Ford Escape Titanium Mint Condition, Fully Loaded, Leather, Navi, Panoramic Moonroof, No accidents, Only 58,000 kms. SALE $23,995 Feature of the week
Rover Range
Acura
Honda Accord

604-946-4451 Deliveries 604-946-5171

PUBLISHER:

Pierre Pelletier ppelletier@delta-optimist com

EDITOR:

Ian Jacques ijacques@delta-optimist com

REPORTERS

Sandor Gyarmati sgyarmati@delta-optimist com

Mark Booth mbooth@delta-optimist com

PHOTOGRAPHER

Jim Kinnear jimgkinnear@netscape.net

DIGITAL SALES MANAGER

Marianne LaRochelle mariannel@glaciermedia ca

SALES REPRESENTATIVES:

John Gallinger jgallinger@delta-optimist com

Ruth VanBruksvoort rbruks@delta-optimist com

Lee Fruhstorfer lfruhstorfer@delta-optimistcom

John Avdic javdic@delta-optimistcom

SALES SUPPORT:

Linda Calendino lcalendino@delta-optimist com

DISTRIBUTION:

Kristene Murray 604-946-5171 kmurray@glaciermedia.ca

Roya Sarwary rsarwary@delta-optimist com

CLASSIFIED

604-444-3056 classifieds@van.net

Anexperienceofalifetime OPINION

MARK BOOTH

mbooth@delta-optimist com

For my entire life I have always been enamored with aviation and last Friday was an unexpected thrill I never thought I would ever experience

As one of the main sponsors of the Boundary Bay Airshow, for the past couple years, the Optimist has been invited for a complimentary flight with one of the performers.

Last year, it was our longtime photographer Jim Kinnear that got to fly with the 1951 Harvard Yellow Thunder Team and had the opportunity to take some amazing aerial photos.

When our publisher asked a couple of months ago who wanted to be this year ’ s “guinea pig,” I enthusiastically stepped forward. A summer afternoon flight over the local skies in a vintage aircraft sounded like a great way to end the week, especially after learning of Jim’s experience

This time it was Pete McLeod graciously volunteering time in his Red Bull Extra 300 LX aircraft.

McLeod happens to a professional aerobatic pilot. The 39-yearold Red Lake, Ont. native got his start in aviation flying float planes for his family’s fishing and hunting

business and has gone on to win multiple North American awards in aerobatic competitions He is also a world class high-performance racer on the Red Bull circuit and annually performs in air shows across the continent.

“I fly solo aerobatics and it’s the high energy modern kind of aerobatic, so we fly the Extra 330. It’s small, very strong and good power to weight which makes it very maneuverable,” he explained.

After being introduced to Pete on the tarmac, he said he could show me some of his stunts over

the waters of Boundary Bay. I enthusiastically agreed

When I asked if I could take photos it was the first sign this flight was going to be a little bit different Not only could I not bring my Nikon camera, he told me to leave my cell phone, wallet and keys behind too

The next warning was being told it was mandatory I had to wear a parachute. That was a little different than flight attendants showing me where the emergency exits are and how the oxygen masks drop down from above your seat

With great patience, he walked

Why can’t summer last longer?

Ilove summer. Yes, there’s the nice weather and the long days (as long as we don’t mess around with daylight savings too much), but what I really look forward to are the major sporting events Even better, most are broadcast from Europe, nine hours ahead so as not to ruin my whole day

At the beginning of July , there’s Wimbledon - at least as long as there are Canadians competing - I’m on the bandwagon until they are out.

Around the same time the Tour

de France starts – three weeks of watching guys ride bikes For some reason I find this completely riveting. A few Canadians this time as well, just to keep my attention Usually done by noon so I don’t waste the sunshine watching TV, but kind of gets in the way of an early morning run, if that’s on the agenda.

Then there’s the Open Championship Luckily the coverage ends with enough time for me to make it to the Boundary Bay Airshow.

And wouldn’t you know it, as

this middle-age dad onto the wing and into the front seat where I was firmly belted in. Pete then tucked a small plastic sick bag into my shirt, telling me with a smile “just in case. ”

The adrenaline was sure flowing as we took off from Boundary Bay and reached the tip of Point Roberts about five minutes later. That’s where through an in-flight head-set, Pete informed me he was going to begin the stunts.

It was about to get intense.

He explained the various levels of G-Force and how it applies to your body during acceleration. I certainly could feel it. Then he began to barrel roll and I looked straight down at the Pacific Ocean. What a surreal moment. He performed a few more rolls and even allowed me to briefly take over the joystick in front of me and I turned the plane. After about 10 minutes of maneuverers, we headed back to the airport. It was about the same time the G-Force and roll overs got the best of me and I reached into my shirt for the sick bag.

Pete was fantastic in helping me out, almost as if he has seen this before from media members in their inaugural aerobatic flight. Thanks for an experience of a lifetime

soon as all these great events end, we get rain No question we needed it, but couldn’t it have come on Sunday, when I was flipping channels between Paris and England?

Next year, it’ll be even better. The Olympics are being held in Paris, starting July 26 Thank goodness there’s no overlap in the dates. I can only flip quickly between two stations at a time With all these events to look forward to and enjoy, it tends to make the summer go by so quickly The back-to-school ads

are already showing up, we aren’t even out of July yet

To make the summer go even faster, there’s the Celebration of Light which spans over two weeks Then it’s the BC Day Long Weekend. Welcome to August.

A couple weeks later the PNE opens, which usually means a few days of rain, two weeks of junk food and rides, and then it’s Labour Day And you know what that means Hockey season!

Canadian Publications Agreement #212490 Thursday s circulation is 17 500 This paper is made of 40% recycled newsprint and printed using vegetable inks The Delta Optim st s a member of the National Newsmedia Council which is an independent organization established to deal with acceptable journalistic practices and ethica behaviour If you have concerns about editorial content please contact the editor at ed tor@delta-opt mist com or 604-946-4451 If you are not satisfied w th the response and wish to file a formal complaint visit the website at mediacouncil ca or call toll-free 1-844-877-1163 for additional informat on Entire Contents © 2023 The Optimist A l Rights Reserved Published every Thursday by the Delta Optimist, a division of LMP Publication Limited Partnership
Phone
5008 47A Avenue, Delta, BC V4K 1T8
wwwdelta-optimist com
JIM K NNEAR PHOTO Reporter Mark Booth and professional aerobatic pilot Pete McLeod give the thumbs-up before their flight.
A8 The Delta Optimist July27,2023

Finesarenotenough

The following letter was sent to Minister of Transportation Rob Fleming and copied to Delta Optimist

I write this letter to you as the latest overpass southbound on Highway 99 in Delta has been struck snarling traffic yet again.

This is at least half a dozen such incident that I can recall in the past two or three years

I personally witnessed the Cambie St. overpass in Richmond being hit moments after it occurred on my daily commute to work this past winter.

These incidents are occurring with alarming regularity, and I am not sure what penalties are being levied against the drivers and the compa-

nies they work for, but it cannot be sufficient when we continue to see such negligence occur over and over again

These incidents not only snarl traffic when they occur, but they cause structural damage to critical infrastructure, which then must be closed, inspected, repaired or possibly even replaced. Is that cost being borne by the culprits, or is it being borne by the taxpaxer yet again?

In my opinion, fines are not enough.

Driver disqualification, not just suspension, ought to be considered. Seizing the assets of a such trucking companies should also be considered The heights of all the overpasses are known and do not change.

There are no good excuses for these types of incidents to reoccur.

There is no good reason why an oversized trailer should be on the streets as far as I am concerned. If, and only if, such oversized loads need to be transported they should be done so with careful planning and a registered route that avoids travel under any overpasses it will not comfortably clear.

What actions will your government take to remedy this problem and assure that critical infrastructure is not damaged by careless truck drivers and companies?

How can the public be assured that they will not have to pick up the repair bill?

More bike parking needed

Editor:

This is an open letter to Trenant Park Square, Ladner Centre and Ladner Harbour Centre.

The bicycle parking at all of the shopping centres is totally inadequate, especially around the

anchor stores (Save On Foods and Freshco).

The amount of space required on busy days is literally three or four times more than is presently provided. With the push to be more environmentally

conscious, a lot more effort needs to be made to accommodate more bicycles without having to pile them up like scrap metal, especially considering the cost of them today.

Letters
July27,2023 The Delta Optimist A9 Gettheresultsyouwantfrom experienceddentistswho Listen,Serve&Care. 555012th Avenue,Tsawwassen•604-943-3343•robertsdental.ca Drs.Jan&WarrenRoberts ACCEPTING NEWPATIENTS 8% 12% 3%
For your up-to-date forecast visit: delta-optimist.com/weather SouthDelta High22° Low16° High23° Low17° High21° Low17° SCANME Slips Now Available! 20’ to 100’ Best Rates in the Region! Tel (Marina Office): 360-945-2255 www.pointrobertsmarina.com
Friday Saturday Sunday

NOTICEOFPUBLICHEARING–AUGUST8,2023

Noticeis herebygiventhatDeltaCity CouncilwillholdaPublicHearing toreceiverepresentations fromanypersonswhodeemitintheirinteresttoaddressCouncilregardingthefollowingproposed projects ThePublicHearingwillbeheldaspartoftheRegularCouncilmeetingasfollows:

Date: Tuesday,August8,2023

Time: 4:00pm

Place: CouncilChamber&Virtual/Zoom DeltaCityHall,4500ClarenceTaylorCrescent,Delta,BC

WATCHLIVE:ThisPublicHearingwillbebroadcastliveatwww.deltaca/watchlive Membersofthe publicwhodonotwishtospeakmaylistenandwatchtheproceedingsontheCity'swebsite Video recordings are archived on the City’s website This Public Hearing is to be convened by electronic meansasauthorizedbytheCouncilProcedureBylawNo 5000

ProjectNo.1(FileNo.

Location:110856Street

LU009556)

Healthsystemfrustrations

Editor:

Re: Locals should be a priority at Delta Hospital (Optimist, letters, July 20)

Applicant:CityofDelta

Proposal: ApplicationforOfficialCommunityPlanAmendmentandRezoningtoallow theexistingbuildingonthesubjectpropertytobere-purposedforcommercialuse

TheCorporationofDeltaOfficialCommunityPlanBylawNo.3950,1985

AmendmentBylawNo 8306,2023

1 TochangethelandusedesignationintheFutureLandUsePlaninScheduleAfrom Multi-UnitResidential(MR)toMainStreetCommercial(MC);and

2 To change the land use designation in the Tsawwassen Future Land Use Plan inScheduleD1fromMediumDensityResidential(MDR)toCommercial(C)

Originally,the proposalwasto amendtheOCPdesignationforthesitefrom Multi-Unit Residential(MR)toTownCentre(TC)inScheduleAandfromMediumDensityResidential (MDR) to Mixed-Use (Tsawwassen) 1 (MU(T)1) in Schedule D1 The OCP amendment proposalhasbeenrevisedtoincludedesignationsfocusedexclusivelyoncommercialuse

DeltaZoningBylawNo.2750,1977

AmendmentBylawNo 8307,2023

ToamendtheexistingComprehensiveDevelopmentNo 196(CD196) Zonetopermit commercial uses onthesubject property.Proposednew uses wouldincludeassembly halls, childcare facility, cultural facility, education and related services, financial institution, indoor recreation facility, neighbourhood convenience commercial, retail trade, and veterinary clinic. Public buildings will continue to be permitted in the CD196Zone

StaffContact:ToryLawson–604-946-3326

It is totally understandable that Toni Johnson would be frustrated with wait times at local ERs, including at the Delta Hospital.

I am sure that we can all recount our own horror stories about the treatment, or lack thereof, at regional hospitals When I was put in tiny isolation room for observation, after returning home from a foreign country, and I was confronted by two individual male nurses, who both screamed in my face: Why are you here? Or when a special-

ist wasn’t available in a hospital ER to properly diagnose me, when I required pain medication, and I was sent home with nothing (only to wait several months for an appointment to see one). Or worst of all, when my grandad was placed in a large “closet” in a hospital, for several days, which was more than 15 years ago.

Seeking medical care in B.C. certainly can be exasperating, to say the least, and has been for a long, long time.

The concept of local residency, or NIMBYism in the health care debate, has absolutely nothing to do with it. If you were a

It’s called tolerance

Editor:

It was with dismay that I read the letter regarding ’ Locals should have priority at Delta Hospital’ (Optimist, July 20).

resident of Surrey, driving down the highway after getting off the ferry, and were experiencing a medical emergency, would you be expected to go back to your “ own region,” in order to access a hospital ER there? Of course not.

We all have to start getting a grip on reality: we are all in the same boat.

If you are unhappy with the current medical system in Canada, then contact your political representatives to complain about it.

Don’t blame other non-local people for it. They are probably just as frustrated as you are

PARTICIPATEINTHEPUBLICHEARINGPROCESS

ThePublicHearingisopentoallmembersofthepublic.Anypersonwhobelievesthattheirinterest inpropertywillbeaffectedbytheproposedprojectsshallbegivenanopportunitytoprovide their comments(support,concerns,oropposition)toCouncilinthefollowingways: ���� Writeto:

MayorandCouncil,CityofDelta 4500ClarenceTaylorCrescent Delta,BCV4K3E2

����

Email: mayor-council@deltaca

���� Tospeak virtually at the PublicHearing,you must register with the Office of the CityClerkbefore10:00a.m.onTuesday,August8,2023.

Toregister emailpublichearing@deltacaorcall604-946-3220andprovide:

1 PublicHearingmeetingdateandProjectnumber;

2 WhetheryouwillspeakbytelephoneorbyZoomvideoconference;and

3 Yourcontactinformation(name,address,phonenumber,andemailaddress)

Onceregistered,youwillbeprovideddetailsneededtoparticipate

Youdonotneedtoregistertospeakinperson

IMPORTANTINFORMATIONREGARDINGTHEPUBLICHEARING

Materials related to the projects such as the staff report, proposed bylaws, detailed maps and otherinformationmaybeinspectedatDeltaCityHall,4500ClarenceTaylorCrescent,Delta,BC, MondaytoFriday,excludingstatutoryholidaysfrom8:30am to4:45p.m fromJuly27,2023to August8,2023

Materialsmayalsobeviewedatwwwdeltaca/publichearing

Ifyouhavea general inquiry regarding the proposed projects orifyou wouldlike assistance to inspect any relevant documentation, please contact the Development Department by email at development@deltacaorbyphoneat604-946-3380

Correspondencereceivedupto12:00pm.onWednesday,August2,2023willbeincludedinthe

Agenda package Correspondence received after and up to 10:00 a.m. on Tuesday, August8,2023willbeprovidedtoCouncilinaseparatepackagepriortothestartofthemeeting All correspondence must include your name and full address and will form part of the public recordforthisPublicHearingandbepublishedontheCity’swebsite OncethePublicHearinghasconcluded,nofurtherinformationorsubmissionsmaybeconsidered byCouncil

Yes we are so lucky to have our little local hospital, which we have all supported for years, but we all need to realize that patients are seen in the emergency room on a triage basis of who is most in need of treatment.

Let us all show some tolerance of people who may well be more in need of urgent care than we are

On another much more positive note, I would like to say that over the last three weeks, I have had two cataract surgeries carried out by Dr. Fine at Delta Hospital

Both times I was extremely impressed by every person I came in contact with. This was from admitting through to all of the staff in the day surgery area including the operating room

Dr. Fine is a great eye specialist, very caring and I have already said a

huge thank-you for giving me the gift of clear 20/20 vision after years of glasses.

What a local treasure we have tucked away in Ladner.

Let’s all be happy with what we have achieved over the years to keep it, one of our jewels and let’s show some tolerance to someone who may well be sicker and who has had to travel from Richmond or Surrey to get the medical attention they needed.

Kudos to Delta Police officer

Editor:

I wanted to send a public thank you to the Delta Police officer who was in Subway in Ladner last weekend. It was a busy wait and they respectfully waited their turn

I was immediately in front of the officer and as I was going to pay, he gave the server a gift card and proceeded to pay for mine, his and left the remaining amount for those behind him.

I regret I didn’t get his name, but I wanted to give a shoutout to this officer for their courtesy and my Subway sandwich!

Letters
A10 The Delta Optimist July27,2023

COUNCILCONSIDERATIONOFBYLAWS–TUESDAY,AUGUST8,2023

Notice is hereby given that Delta City Council will consider giving first, second, and third readings to the bylaws referenced below at its Regular Meeting at 4:00p.m.onTuesday,August8,2023intheCouncilChamber,4500ClarenceTaylorCrescent,Delta,BC,andbyelectronicmeansasauthorizedbyCouncilProcedure BylawNo 5000

WATCHLIVE:TheRegularMeetingwillbebroadcastliveatwwwdeltaca/watchlive Membersofthepublicwhodonotwishtoattendmaylistenandwatchtheproceedings ontheCity’swebsite VideorecordingsarearchivedontheCity’swebsite

LandUseContractDischarge–BylawNo.8268(FileNo.LU009244)

Location:8464116AStreet

Applicant:RupinderKDeol

Proposal:TodischargeLandUseContractSA 2695torevealtheunderlyingSingleDetachedResidential1(RS1)Zoneandtoallowa secondarysuitewithintheexistingdwelling ThisapplicationisconsistentwithDelta’sOfficialCommunityPlan StaffContact:KaterynaMorenets–604-952-3485

Rezoning&DevelopmentVariancePermit–BylawNo.8289(FileNo.LU009376)

Location:49658AAvenue,855and871BayviewDrive

Applicant:WesleyWollin,BURO47ArchitectureInc

Proposal:TorezonefromSingleDetachedResidential1(RS1)toSingleDetachedResidential5(RS5)topermitsubdivisionintofivesingle detachedresidentiallotsandconstructionofanewdwellingwithanin-groundbasementoneachlot

AdevelopmentvariancepermitisrequestedtovarySection629(d)of“DeltaZoningBylawNo 7600,2017”toallowabasementaccess depressioninthefrontyardofproposedLotA

StaffContact:AdaLiu–604-946-3395

Rezoning,RoadClosure&DevelopmentVariancePermit–BylawNos.8256&8257(FileNo.LU009414)

Location:80951Streetand51408AAvenue

Applicant:HowardSmid,H SmidEnterpriseLtd

Proposal:Torezoneandacquireaportionof51Streetsouthof8AAvenueandincorporateitintothedevelopmentsitetopermitatwo-phasedsubdivisionasshownonMapNo 1 DeltaZoningBylawNo 7600,2017,AmendmentBylawNo 8257

To rezonethesubjectpropertiesas shownonMapNo 2 from SingleDetachedResidential 1 (RS1) to SingleDetachedResidential6 (RS6) andto permit subdivisioninto sevensingle detachedresidentiallotsandconstructionofasingledetacheddwellingoneachlot.ThisapplicationisconsistentwithDelta’sOfficialCommunityPlan

DeltaRoadClosureandCancellationBylawNo.8256

Tocloseandcancelapproximately4374m²ofCity-ownedroadidentifiedas“RoadtobeClosed”asshownontheRoadClosureSketchpriortothelandsbeingdisposedofinaccordance with the Community Charter and transferred to the property owner as part of a conditional road transfer and exchange agreement In return, Delta would receive $179,000 and road dedicationforthe51Streetcul-de-sac ThisapplicationisconsistentwithDelta’sOfficialCommunityPlan

DevelopmentVariancePermitLU009414

Adevelopmentvariancepermitisalsorequestedtovary“DeltaZoningBylawNo 7600,2017”asfollows:

1 Section11606byreducingtheminimumexteriorsidesetbackfrom35mto28mfortheprincipalstructureonproposedLotF;and

2 Section11608byreducingtheminimumlotwidthforsubdivisionfrom13mto89mforproposedLotC,102mforproposedLotD,123mforproposedLotEand9mforproposed LotG

StaffContact:CharisLoong–604-952-3814

MapNo.1

MapNo.2

RoadClosureSketches

FORMOREINFORMATIONREGARDINGTHEPROPOSEDBYLAWS

Materialsrelatedtotheproposalssuchastheproposedbylaws,detailedmapsandotherinformationmaybeinspectedatDeltaCityHall,4500ClarenceTaylorCrescent,Delta,BC,MondaytoFriday, excludingstatutoryholidaysfrom8:30am to4:45pm fromJuly27,2023toAugust8,2023

Ifyouhaveageneralinquiryregardingtheproposedbylawsorifyouwouldlikeassistancetoinspectanyrelevantdocumentation,pleasecontacttheDevelopmentDepartmentbyemail atdevelopment@delta.caorbyphoneat604-946-3380

Correspondence received up to 12:00 pm on Wednesday, August 2, 2023 will be included in the Agenda package Correspondence received after and up to 10:00 a.m on Tuesday,August8,2023willbeprovidedtoCouncilinaseparatepackagepriortothestartofthemeeting Allcorrespondencewillformpartofthepublicrecordfortheseproposalsand mustincludeyournameandfulladdress

Thosewishingtoprovidecommentonproposedbylawsmaydosointhefollowingways:

���� Writeto: MayorandCouncil,CityofDelta 4500ClarenceTaylorCrescent Delta,BCV4K3E2

���� Email: mayor-council@delta.ca

July27,2023 The Delta Optimist A11

Tougher penalties in the works for truckers

Smashing a big truck into a highway overpass soon will come at a higher cost to the industry

The Ministry of Transportation and Infrastructure (MOTI) says higher fines, steeper penalties, longer suspensions, and more driver education will be looked at and reviewed

The statement came following a commercial truck crashing into the Highway 17A overpass July 18 bringing traffic to a halt.

During 2022, and up until June 14 of this year, 19 commercial trucks have crashed into highway overpasses, most of those in the Lower Mainland

Dave Earle, president of the B.C. Trucking Association, welcomes any tightening of the rules

“All of it,” Earle said when asked which measures he’d like to see to improve trucking safety.

Higher penalties and enforcement are important, though they won’t solve everything, he said.

“Anybody who’s involved in moving goods who doesn’t take the time and care and attention to do it safely, needs to be held accountable,” he said. “The frustration is palpable and no one is more frustrated by the delays than truckers It’s these outliers that really need to be held accountable and say, No more. Enough. You need to do the work that needs to be done, to make sure you ’ re moving safely ”

Earle added that it’s not just the drivers all the time.

“People that are moving goods –they need to pay attention to who they’re hiring,” he said. “Trucking

companies need to train their drivers and give them the space, time and skill to take their time and to be thoughtful and to measure. ”

Everyone has to realize that trucking is serious, high-risk work, Earle said.

He favours suspending the licences of companies temporarily for those with bad records. “You get shut down, you ’ re paying attention right now That’s not a bad thing. What you want is for the behaviour to change,” he said

Delta South MLA Ian Paton welcomes tougher penalties, but says education also is required.

He pointed out the height of the overpasses have been the same for decades.

He doesn’t understand how truckers can go out and not know the height of their loads.

“It’s just completely crazy, ” Paton said.

He noted that 99 per cent of the truckers know what they’re doing, but all it takes is one per cent who don’t know how high their load is.

“So many of these have happened in the last two or three years, haven’t they? It’s just shocking,” he added

MOTI said the company whose vehicle was involved in Tuesday’s crash is under investigation The company has a satisfactory safety rating.

Two of the five girders of the Highway 17A overpass, built in 1959, will need significant repairs.

Mayor George Harvie said the shipping industry has to ensure that trucks are loaded properly, but more importantly, the Highway 17A, Highway 17 and Highway 10 overpasses all need to be replaced.

A12 The Delta Optimist July27,2023 Chevron 360-945-0828 8AM-10PM Call to check gas prices COME VISIT POINT ROBERTS TODAY! Nielson’s Building Center 360-945-3116 9AM-5PM UPS Store 360-945-4877 9AM-7PM CONVENIENTLY LOCATED Point Fuel & Pantry 360-945-7611 7AM-11PM Call to check gas prices FILL UP AT ONE OF OUR TWO LOCATIONS, BRING US
RECEIPT AND PICKUP YOUR PARCEL FOR 99 CENTS*. *See store for details. Fuel Prices on our website www.pointrobertsgas.com or call 360-999-6027 • 360-786-8950 CHEAPEST GAS IN TOWN 604-948-5450 or text 604-307-2032 www.hangandshine.ca • Shutters & Faux Wood Blinds • Silhouettes, Pirouettes & More! • Mirage Retractable Screen Doors Custom Bllinds Local owner/operator since 1997 CALL FOR YOUR FREE IN HOME ESTIMATE CUSTOM BLINDS & SHADES BEATTHEHEAT Delta.ca/beattheheat Hotline:604-946-3200 Formoreinformation,visit climatereadybc.gov.bc.ca. Inanemergency,call9-1-1.
THE

Delta,Metrotryingtoprevent BurnsBogfromdryingup

The City of Delta is working with Metro Vancouver trying to ensure Burns Bog doesn’t dry up.

A recent staff report to council provided updates on a number of initiatives underway at the bog including what’s been happening with the water level monitoring and restoration program.

Significant work has been done by the municipality to dam internal ditches in an effort to increase water levels Since the ditch blocking began in 2001, Delta has built a total of 479 dams, while a long-term water level monitoring program has been in place since 2005.

The report notes that staff have reviewed recent water level data from the bog’s interior with the regional district’s Burns Bog Scientific Advisory Panel and have determined that, despite summer drought impacts from climate change, water levels are high and stable enough to pause the interior ditch blocking program The goal is to give Delta and Metro Vancouver enough time to consider an overall restoration plan and priorities for the bog ecosystem However, the report also notes that

the Burns Bog management team and the scientific advisory panel have agreed that the bog’s edge remains too dry in many areas as a result of perimeter drainage ditches and is a priority for hydrological restoration.

From 2018 to 2020, Delta’s ditch blocking contractor installed an experimental underground dam similar to sheet piling along a 100metre section at the southeast edge of the bog. The underground dam is to reduce the loss of water by seepage into a perimeter drainage ditch adjacent to a farm.

Preliminary monitoring results indicate that the dam has raised the water level, but additional work will be required to fully restore the site, the report notes, adding that this type of dam, or another restoration measure, will be required along the remaining perimeter ditches that surround much of the bog to address the low water levels in the areas.

Meanwhile, Delta is also assisting Metro Vancouver with a study in the site of the 2016 bog fire. Staff installed four water level monitoring wells with data loggers in August 2021 and will provide the data as part of a University of British Columbia (UBC) study on greenhouse gas emissions from different vegetation zones.

Belfast International Tattoo’s Performer Focus: The Delta Police Pipe Band

How would you describe your cultural identity?

• My personal cultural identity is British – Canadian Great grandparents from Scotland, one grandmother from England and one grandfather from Wales who all immigrated to Canada in the early 1900s It was my grandfather who decided I was going to play bagpipes My aunt was my first teacher

What did you want to be when you grew up?

• Mathematician/Computer scientist but I became a Registered Nurse and led the development of Digital Health Informatics for a large health authority in British Columbia

If you could give a younger person musical advice, what would it be?

• Forget the mistakes Enjoy the music and the joy will come through.

What do you enjoy most about being part of your band?

• Everyone cares about one another; every member is there to play their best and have a good time There is a lot of respect for everyone in the corps

July27,2023 The Delta Optimist A13 Bring in this ad and receive 10% off your entire purchase! SAVE10%ONYOURENTIREPURCHASE! ValidJuly31stAugust4th,2023 Sorry, no rain checks. 1302A56thStreet Tsawwassen,BC 604-943-0908 507648thAvenue Ladner,BC 604-946-1114 www.petsnus.ca Tsawwassen&LadnerLocations Pepperoni LocallyOwnedAndFamilyOperatedSince 1994
The
staff
one
our
for a feature article Delta
Pipe Staff Sergeant Corey Tillyer did us proud, here are some highlights!
Belfast International Tattoo production
interviewed
of
band members
Police
You can follow Corey and the Delta Police Pipe Band on Facebook and Twitter as they represent the City of Delta at the Belfast International Tattoo from August 28 to September 3
Please take the time to read this week’s issue of the Optimist, and consider the value of what’s in it If you like what you read and see, then please consider a voluntary subscription for $50 for the year* *plus taxes It’s as simple as signing up at Subscription.Delta-Optimist.com or calling 604-946-4451 Cheques may be mailed to: Delta Optimist 5008 47A Avenue, Delta, BC, V4K 1T8

Batmobilehelpswithpopulationcounts

As evening falls on Delta’s fields, you may have seen a car cruising slowly down the dusty roads, with someone holding an antenna out the passenger window. There was no cause for concern though because it was just the local “bat mobile” doing live surveys during the bats’ busiest time of day.

Delta Farmland and Wildlife Trust has been monitoring the animals with an echometer, to get an idea of the number of winged creatures on their night flights. The vehicle travels at 32 km an hour over a pre-set route around dusk when bats become active

After two hours of survey time on July 11, more than 150 bats were detected, among them little brown bats

and another small bat called, Yuma myotis, said research and field tech Connor Hawey.

“We expect to see around eight species of bats in our area and five of which are of conservation concern, ” he said. “We’re really excited to be starting this work for the first time”

A major goal is to get an idea of the size of the local bat population prior to the arrival

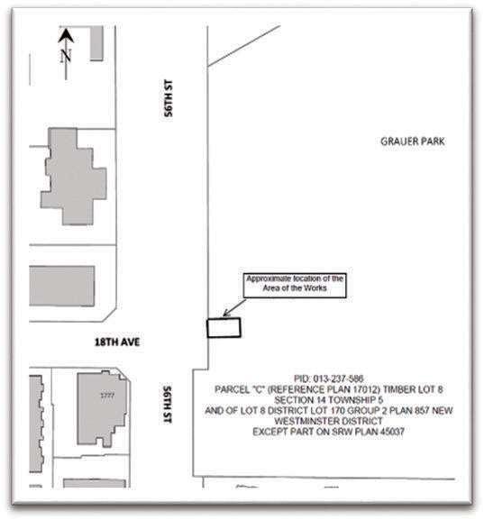
Notice is hereby given, that City of Delta, pursuant to Sections 26 and 94 of the Community Charter, intends to grant BC Hydro a statutory right of way (SRW) in perpetuity over the land described, pertaining to an Area of the Works as shown on the map below.

Civic address: 1720 56 Street, Delta, British Columbia Legal Description: Parcel Identifier: 013-237-586

PARCEL”C” (REFERENCE PLAN 17012) TIMBER LOT 8

SECTION 14 TOWNSHIP 5 AND OF LOT 8 DISTRICT LOT 170

GROUP 2 PLAN 857 NEW WESTMINSTER DISTRICT EXCEPT PART ON SRW PLAN 45037

In consideration for the SRW, BC Hydro will pay $1.00 and all costs associated with completing the registration of the SRW on title with the Land Title and Survey Authority of BC

THIS NOTICE IS FOR THE PURPOSE OF PUBLIC NOTIFICATION ONLY AND THE PROPERTY IS NOT AVAILABLE TOTHE PUBLIC FOR ACQUISITION.

The SRW is required to provide utility services to electric vehicle charging stations

The Approving Officer will consider the execution of this SRW for the City of Delta following publication of the required notice.

Enquiries may be directed to Mike Brotherston, Manager of Climate Action & Environment at 604-946-3281 or mbrotherston@delta.ca.

Dated this 17th day of July, 2023

Michelle Jansson, CMC City Clerk

City of Delta 4500 Clarence Taylor Crescent Delta, BC V4K 3E2 (604) 946-4141 www.delta.ca

of a devastating disease called white nose syndrome

“We would like to get a picture of the bat activity and population, especially before this disease comes to our area, ” Hawey said. “We’re not sure yet how it will affect our local bats”

White nose syndrome began in the eastern U.S. and crashed populations there, but so far has not shown up in the Lower Mainland, although it’s been detected in Washington state.

White-nose syndrome is a fungus that can cause dehydration, starvation and death. According to B.C Environmental Protection and Sustainability, the disease has killed more than six million bats in eastern North America.

Bats develop the fungus while hibernating, use energy to wipe it off, and fly around in daylight during the winter looking for water or food. They’ll then die from lack energy.

In order to keep bats from migrating, operators of vehicles should close potential roosting sites to bats at night, such as, cargo hatches, trailers, storage cabinets, tent awnings and umbrellas

Bats usually emerge after dusk and fly all

Delta Farmland and Wildlife Trust has been monitoring the animals with an echometer, to get an idea of the number of winged creatures on their night flights.

night looking for food.

“They eat massive amount of pest insects,” said Hawey.

So far, they’ve surveyed bats in Tsawwassen, Westham Island, Ladner and soon, Boundary Bay.

In all, researchers will have been on the road eight nights, for about an hour each night

Another goal is to see if the Wildlife Trust’s grassland set-aside program, where farmers let natural grasses take over their fields for a few

years in order to replenish the soil, is helping bat populations.

Audio monitoring devices that detect bats’ sounds have been placed for six weeks in 12 fields that are part of the program.

“The goal with that is to see how these bats are being supported by the grasslands set-aside program, ” Hawey said.

Those areas already help lots of insect-eating birds, so they expect it supports bats as well, he added.

SUBMITTED PHOTO
A14 The Delta Optimist July27,2023 E
PID 013-237-586 PARCEL “C” (REFERENCE PLAN 17012) TIMBER LOT 8 SECTION 14 TOWNSHIP 5 AND OF LOT 8 DISTRICT LOT 170 GROUP 2 PLAN 857 NEW WESTMINSTER DISTRICT EXCEPT PART ON SRW PLAN 45037 GRAUER PARK 56TH S T 56TH S T 18TH AVE HOME SERVICES Mobile Same Day Blind Cleaning 604-948-5450 or text 604-307-2032

Ducks Unlimited Canada working in the Fraser River

ERIC BALKE

Ducks Unlimited

Last February, Ducks Unlimited Canada and partners began work on the innovative Sturgeon Bank Sediment Enhancement Pilot Project intended to restore tidal marsh and support coastal flood protection.

This tidal marsh west of Richmond has been declining in size, affecting its ability to keep up with rising sea levels and jeopardizing critical habitat for creatures like juvenile salmon and waterfowl.

You may have spotted curious machinery spraying what looked like mud out on Sturgeon Bank Re-using sediment dredged from the Fraser River to maintain the shipping channel, the project used long sections of temporary pipe and a special nozzle to distribute the sediment on the tidal flats.

The new sediment is meant to enhance the Fraser’s natural sediment deposits, which have been greatly altered by a century of human intervention.

When we think about

habitat restoration, a “rainbow of mud” may not be the first picture that comes to mind. But the approximately 11,000 cubic metres of new sediment distributed on Sturgeon Bank should help new plants move in and help protect the area from coastal flooding The second addition of sediment is planned for this fall.

Teams are monitoring the area using droneaided mapping, water turbidity measurements and sampling for vegetation, biofilm, invertebrates and juvenile salmon. If the results from monitoring prove the project to be successful, it can be applied broadly across the Fraser Delta, home to so many native plant, fish and wildlife species.

The project is led by Ducks Unlimited Canada in partnership with Raincoast Conservation Foundation, Tsawwassen First Nation, and the Lower Fraser Fisheries Alliance. It is funded by the BC Salmon Restoration and Innovation Fund through Fisheries and Oceans Canada and the Province of B.C., with

additional funding from Tsawwassen First Nation and the Vancouver Fraser Port Authority.

Editor’s note: Nature Notes is a monthly column produced by the

Delta Naturalists and their community partners. For info on monthly meetings and more see www.dncb.wordpress com and www.facebook. com/DeltaNats/.

Community
NATHAN VADEBONCOEUR PHOTO
Pilotprojecthelpingrestoreestuarymarshhabitat
This pipeline transports reused Fraser River sediment to Sturgeon Bank.
July27,2023 The Delta Optimist A15 2023 © A ll R igh ts R eser v ed Close ts b y D esig n, nc 40% Off Plus Free Installation
% Off PLUSTAKE AN EXTRA Call for a free in home design consultation and estimate 604-265-0698 www.closetsbydesign.com DO Locally Owned and Operated Licensed and Insured Terms and Conditions: 40% off any order o f $ 1000 or more or 30% off any order of $700-$1000 on any complete custom closet, garage, or home office unit Take an additional 15% off on any complete system order. Not valid with any other offer. Free installation with any complete unit order of $850 or more With incoming order, at time of purchase only. Offer not valid in all regions. Expires 7/30/23. SPECIAL FINANCING FOR 12 MONTHS! With approved credit Call or ask your Designer for details Not available in all areas Imagine your home, totally organized! Custom Closets, Garage Cabinets, Home Offices and more! THANK YOU FOR RECYCLING THIS NEWSPAPER.
15
2023 Boundary Bay Airshow
BY
KINNEAR An estimated 30,000 spectators took advantage of ideal conditions to enjoy spectacular aerial performances and on ground displays at Saturday’s Boundary Bay Airshow. A16 The Delta Optimist July27,2023 McDonald’s • 1835 56th Street TSAWWASSEN • 5776 Ladner Trunk Road LADNER If you are interested in becoming a carrier please call 604-946-5171 Marisa won a gift card courtesy of MARISA MACAULAY Route # Route Info # of Papers Interested in becoming a carrier? Call or email to be added to the waiting list. Kids and Adults Needed for These Upcoming Routes Call 604-946-5171 or email distribution@delta-optimist com 1600106 1A Ave, 2nd Ave, 51A St, 52A St 59 1600204 1A Ave, 66A St, 67th St 60 1600237 66A St, 67th St, 3rd Ave............................................................................................................................... 54 1600305 Pacific Dr 36 1600306 Pacific Dr, Stahaken Crt, Pl 44 1600322 54th St, 56th St, 7B Ave, 7th Ave, Gilchrist Dr Pl 77 1600324 4 Ave, 4A Ave, 55A Sst, 55th St 79 1600335 8A Ave, 12th Ave, 49th St, English Bluff Rd 40 1600408 52nd St, 53A St, Belair Cres, Saratoga Dr Windsor Cres, 70 1600413 15th Ave, 53A St, Wildwood Cres 82 1600423 Birch Spring aland, Cedar Spring Dr, Fir Springs Lane, Spring Blvd, Willow Springs Ave 77 1600425 Osprey Dr Blue Heron Way 56 1600427 Pine Springs Lane, Springs Blvd, Cedar Springs Dr, Pl, Willow Springs Ave 71 1610109 Admiral Blvd, Lane, Brigantine Rd, Clipper Pl, Cutter Pl, Ketch Rd Commodore Rd 101 1610115 5510 Admiral Way 6000 Admiral Blvd 58 1610220 40th St, 41B St, Church St, River Rd, Savoy St, Station St, Weare St 85 1610509 48B Ave, Ladner Trunk Rd, 56th St, 57th St, Egan Pl 56 1610604 Central Ave, Fenton Dr, Linden Dr 104 1610605 Bentley Crt, Dr, Lane, Linden Dr, Westminster Ave, Crt 70 •RV,BOATPARKING&STORAGE•PT ROBERTSMINI&MOBILESTORAGE 360-945-6464 GOT STUFF? Need local storage? /MONTH FROM $50 CALL 604-943-7735 FOR LOCAL STORAGE LADNER STORAGE 4141 RIVER ROAD, DELTA
PHOTOS
J M

2023 Boundary Bay Airshow

July27,2023 The Delta Optimist A17
Reach Child and Youth Development Society executive director Renie D’Aquila and fundraising manager Tamara Veitch gratefully received $2,500 from Tanya MacNeill, president and Ken Harvey, Royal Canadian Legion Branch 289 The funds will provide therapy iPads to children with developmental disabilities in Reach Society programs Heron Hospice director Decima Mitchell, Delta Community Foundation Director, Gillian Lowrey, Delta Community Foundation Director of Grants, Ammen Dhillon, and Heron Hospice Director Laura Dixon with the donation cheque of $2,000
additional
to Reach for the Stars
to make Reach the benefi
from their Central Walk coin donations
on hand to present the big
Reach fundraising manager Tamara Veitch (2nd from right) receives a $1,535 donation from Tsawwassen Mills This generous donation was
an
contribution
Gala Tsawwassen Mills chose
ciary
and Jay Sohal, Jody Mattice and Damien Teissedre were
cheque.
LOCALLY OWNED AND OPERATED BY KEN & LORI TURNBULL

Planning to rest

My family is getting ready for family camp, and as much as we ’ re excited, we ’ re also exhausted from all the planning that is required for us to go away for a week

It is a lot of work to pack for a toddler Strategizing to entertain a seven-yearold on a road trip is as ambitious as Ocean’s 11 strategizing to rob the Bellagio. In addition to the tall order of packing up the fam, we also need to find friends who can water the plants and take out the garbage while we ’ re away. At work, I need to delegate properly and communicate details so that the team can operate smoothly in my absence.

Taking a break can be hard work!

Despite the challenges, resting is essential In

Minister’s Minute PAUL PARK

fact, the bible says that we were created to enjoy the rest God gives us. The Ten Commandments demands that we take the Sabbath seriously. God says that it is sinful to disobey the command to rest from our work. Why is that? Because God created us to be in a beauti-

ful relationship with him and with others. When we enslave ourselves to our work no matter how good or important our work is we are going against God’s will Rather than living as God’s creation made to enjoy him and others, we are living as slaves when we don’t rest.

We are healthier when we are well rested, and it is in the best interest of our family, friends, and colleagues that we are rested and refreshed. A well-rested version of ourselves is much better than the burnt-out version of ourselves

Resting takes intentional planning. We don’t just stumble upon rest We need to protect our schedules so that we can enjoy God and his creation

wship

Community
SOUTH DELTA BAPTIST CHURCH
A18 The Delta Optimist July27,2023 A Warm and Joyful welcome to Summer Mass Schedule July 2 - Sept 3 Saturday at 5pm Sunday at 9am & 11am Daily Mass in the Chapel at 9am Mon-Sat LOVE LIKE JESUS SOUTHDELTA.ORG 604-9438 - 244 SUNDAYS 10AM Everyone welcome to worship with us
Benediction Lutheran Church Join us as we celebrate God’s grace We invite you to worship in person Sundays at 9am or online anytime at www.benedictionlutheran.org 5575 6th Ave Tsawwassen, BC 604-943-3432 Pastor Thomas Keeley LADNERGOSPEL ASSEMBLY Sunday Worship Service 10:30am All Ages Welcome! “Aplacewhereloveandfriendshipmatters” www.ladnergospelassembly.com www.ladnerlife.com info@ladnerlife.com 5545 Ladner Trunk Rd. ONLINE OR IN-PERSON, Sundays @ 9:30 a.m. ST DAVID’S ANGLICAN CHURCH 1115 – 51A Street Tsawwassen Rector Rev. Simbarashe Basvi Sunday Service 10 am 604-943-4737 st.davidsdelta51@gmail.com Tsawwassen United Church 693 – 53rd Street, Tsawwassen Welcome to everyone for Worship & Friendship Sunday’s @ 10:00 am Rev Daniel Kirkegaard tuc@telus.net 604.943.2911 “Be Faithful,betrue, be a blessing” Sacred Heart Catholic Church 3900 Arthur Drive, Ladner 604-946-4522 sacredheartparish.ca Sundays at 10:00 a.m. Rev Jason Truell 中文主日崇拜 10:00 a.m. Nancy 楊牧師 4594 – 54A Street, Ladner, B.C. 604-946-7033 office@ladnercrc.com www ladnercrc ca Join us this summerSunday Eucharist @ 9:30 am, Eucharist and Bible StudyWednesdays @ 10 am For more information www.allsaintsladner.org or call 604-946-8413. 4755 Arthur Drive, Delta All Saints Anglican Church Mind Your Business IntroducingtheBusinessWire.Accesstop businessnewsonlineanytime. ScanQRcode,orvisit delta-optimistcom/bizwire POWEREDBY

LIFESTYLES

MissUniverseCanadahas acompetitorfromDelta

Contributing Writer

One of the competitors who will be vying for the title of Miss Universe Canada 2023, is from Delta.

Nathalie Low, 18, will be competing for the national title next month in Richmond. The Miss Universe Canada 2023 Vancouver event takes place at the River Rock Casino, Aug. 17 and 19

Low, who has lived on a berry farm her whole life, just graduated from Delta Secondary.

She wants to become a professional songwriter and singer and already has written an original score to a documentary she just produced titled, indigenous women, girls, and Two-Spirit People in Canada

The documentary includes quotes and clips from indig-

enous people about the treatment they have received in Canada, according to a Miss Universe Canada profile

The documentary follows the colonization of Canada to the present day and the effect that it has had on indigenous people.

“It’s important to amplify and shine a light on others’ voices, and I am proud of being able to do that in such a large manner, ” Low said.

She also adds that her cousin, Michelle Voyageur, who she interviewed for her film, had an impact on her life Her cousin shared her story and gave insight into the challenges faced by indigenous people in Canada.

“Her positivity, kindness, and bravery give me courage, strength, and hope. I strive to follow in her footsteps of leadership,” Low said.

Low also has been a competi-

Tsawwassen

PHIL MELNYCHUK

Contributing Writer

After being nominated five times, Tsawwassen resident Terry Hanson finally has his own Leo Award.

He received the recognition on the 25th anniversary of the Leo Awards, given out by the Motion Picture Arts and Sciences Foundation of B.C.

Hanson couldn’t accept the award in person because he was out of town when the awards night took place

hair

at the Hyatt Regency in Vancouver, but he’s awaiting the arrival of his own personal version, engraved with his name.

Hanson, along with Andrea Simpson and Brenda Turner, won the award for best hairstyling in the dramatic series category, for the science-fiction thriller Motherland: Fort Salem.

The film is a fantasy about three witches who are trained to work for the American military Hanson won for the episode, Homo Cantus, which aired in June 2022

tive dancer and has also figure skated and played field hockey, volleyball and soccer and is also the founder of Hot Girl Guide, a podcast that mixes science, spirituality and personal experience to give people the knowledge they need to take control of their lives

In her profile, Low also lists throwing cards as her most unusual talent She and her sister watched the movie Now You See Me, one summer and watched many YouTube videos.

“I finally mastered throwing cards with the flick of my wrist,” she said.

At 18, she is one of the youngest national semi-finalists in the competition. The winner of the evening on Aug 19 will be named Miss Universe Canada and compete in the Miss Universe competition in El Salvador in December.

As part of the Miss Universe

competition, semi-finalists are required to fundraise.

She is raising money for SOS Children’s Villages and has made her own bracelet line called Ocean Views where all proceeds go towards vulnerable women and children across

Latin America

Low is hosting a fundraiser with SOS Children’s Villages, for Miss Universe Canada, at the picnic shelter at Centennial Beach, on Aug 4 from noon to 5 p.m. Look for the pink Barbie Bingo banner

designer wins Leo Award

Motherland: Fort Salem, ran for three seasons on Disney Freeform

Set in a fantasy, supernatural world, the series features extravagant costumes and makeup.

“The show itself is very wig heavy,” said Hanson

His role was to maintain the wigs so they look the same from shot to shot, in addition to styling, colouring and cutting.

It’s quite labour intensive, he said, with 18-hour days common during shooting.

The wigs, made of

human hair, cost up to $5,000 each and have to be cared for much like a person ’ s hair is maintained.

Hanson is a veteran of the film industry, having worked in Hollywood North for 24 years

After being nominated for five years and not winning, it’s good to finally be chosen, he adds.

Hanson said he used to joke he was the Susan Lucci (All My Children) of Vancouver because he’d been nominated so many times.

“So, I finally broke the

Susan Lucci curse by getting it this time, quite funny,” he said

Hanson said the movie business in Vancouver is thriving, except for the last three months, as effects of the Writers Guild of America strike begin to be felt here. He’s waiting for the announcement of another series so that he can compete for another project

“It’s completely shut down, which affects lots of money to the city of Vancouver and lots of money all over the world,” he said

Event to report? Contact Ian at ijacques@delta-optimist com or 604-998-3616
JIM KINNEAR PHOTO Tsawwassen’s Terry Hanson has won a Leo Award for best hairstyling in the dramatic series category, for the science-fiction thriller Motherland: Fort Salem. PHIL MELNYCHUK PHOTO SUBMITTED BY RICHARD LOW Nathalie Low graduated from Delta Secondary School this spring and is competing in Miss Universe Canada 2023 this August in Richmond.
July27,2023 The Delta Optimist A19

PaddlingtotheMidnightSun: Ladner’sPatJonescompletesher final710-kmYukonRiverQuest

mbooth@delta-optimist.com

Soon after checking out of Dawson Creek Hospital, Pat Jones promised her husband and daughters the 2003 Yukon River Quest would be her last Held earlier this month,

the world’s longest annual kayak/canoe race from Whitehorse to Dawson City attracts paddlers from around the world to race on one of North America’s greatest rivers Also known as “The Race to the Midnight Sun” it takes place at a time of year when there is essen-

tially 24 hours of daylight.

The remarkable 69-year-old kayaker and long-time Ladner resident was the oldest competitor to complete the 715-km race Jones more than held her own too, finishing second among the four female kayakers for the second straight

year. She was also fourth, among all 17 solo kayak entries

However, the grueling journey had taken its toll by the time she had reached the finish line 57 hours later.

“I entered the race with a bad right rotator cuff and a damaged posterior ligament behind my right knee,” explained Jones, who also was second in the 2022 race after she was forced to abandon her first attempt back in

CONTINUED: see Page 21

SUBMITTED PHOTO
A20 The Delta Optimist July27,2023 Management for Seniors & Their Families Are you a Senior Living at Home? We Can Help You... Did you know you can get in Home e Healthcare management from a Registered Nurse? YOUR PERSONAL HEALTHCARE GUIDE Jennifer
Providing peace of mind for clients and their care partners. Servicing Ladner & Tsawwassen Call us for a free 30-minute consultation. 604-671-4357 (HELP) www.h2hhealthcare.ca Meet Jennifer Gayler I’m Here2Help! 604.940.9695 • dhchfoundation.ca Charitable #12984-4114-RR0001 Be part of the story. Give today. An $18.25 Million Campaign to Transform Long Term Care in Delta. + L I V I N G T H E G O O D L I F E
Pat Jones and her support crew for the second straight year, Erin Giesbrecht. Gayler, Founnder and CEO, H2H Healthcare

CONTINUED from Page 20

2019. “I finished the race with both rotator cuffs sore, no flesh left on my tailbone, blisters on my butt, abrasions on my back, neck and left side, along with three numb fingers on my right hand.”

The greatest concern of all proved to be the swelling of her wrist that was caused from an awkward paddling position to take the pressure off her tailbone. She stressed a tendon to such a degree that bacteria had entered her bloodstream from one of her open wounds and migrated to the wrist area.

She was grateful for her care in hospital where antibiotics were pumped into her. She was

told she can’t kayak or ride her motorcycle for six weeks to let her tendon heal.

“As much as I love the Yukon and the people, I believe this is the last time I will do (the race),” said the former Delta Secondary educational assistant, who is typically out on the waters of Ladner Harbour “I worry that perhaps with each subsequent race for me will mean more damage to my body and actually curtail my ability to enjoy the sports that are huge part of my life”

This year ’ s race featured a mandatory 10-hour stop at the 300-km mark in Carmacks.

Jones had only one more stop the rest of the way to walk her kayak back upstream when she

made the wrong turn.

She once again had 2018 solo kayak winner Erin Giesbrecht as her support crew and said she couldn’t have done it without her.

Her second place finish earned her another silver canoe with gold nuggets designed by Andrew Kuczynki Jones’ husband Carl then commissioned the Gold Trail Jewelers owner to make his wife a gold kayak too.

“I think that was Carl’s attempt to ensure I won’t be entering anymore races, even though I have said I am finished,” said Jones. “He and my daughters say they’ll believe it when the final 2024 registration date has come and gone. ”

SUBMITTED PHOTO Ladner’s Pat Jones, 69, arriving in Carmacks 26 hours into the 715-km long Yukon River Quest held earlier this month.
July27,2023 The Delta Optimist A21 3820 ARTHUR DRIVE, LADNER • WWW.AUGUSTINEHOUSE.CA Celebrating 20 Years o of Caring! Stay Active and Independent in a warm, welccoming community! Book Your Tour Today Call 604-940-6005 Email: info@augustinehouse.ca + L I V I N G T H E G O O D L I F E 604.364.7156 Home is Right Here! BriaCommunities ca RETIREMENT. LIVING! Spend your days doing what you love best, and let us take care of the rest. Discover carefree all-inclusive senior living in sunny Tsawwassen. Get a taste of living with us Come for a tour and, we’ll treat you to lunch. Call Andie for more info:

You’re going to lose access to local news on Facebook and Google.

Dear readers,

Your access to local, provincial and national news is going to be revoked on Google, Facebook and Instagram.

And it’s not because of anything we’ve done.

Recently, Canada passed the Online News Act, also known as Bill C-18, which has led to a standoff between the government, Google and Meta the parent company behind Facebook and Instagram.

Both Google and Meta have said they plan to cut ties with the news industry in Canada as a result.

This means Meta will block the posting and sharing of our news articles on Facebook and Instagram. Google will also remove links to our sites and articles in Google News, Discover and search results. They’ll also cancel significant content licensing agreements already in place with our parent company, Glacier Media

Undoubtedly, this will have a huge impact not solely on us but, more importantly, on people like yourself who may use these platforms to discover what’s happening in your community and to get context to events happening in your own backyard.

We’re not planning on going anywhere, but here’s how you can help:

1 Sign up for our free daily newsletter by scanning the QR code (And encourage your family and friends to do the same )

2. Follow us on Twitter.

3. Bookmark our website as the homepage on your devices.

4. Consider becoming a member if you aren’t already. Your support will help us continue to cover local stories, by locals.

5. If you own/operate a local business, consider supporting local by placing ads with 100% Canadian-owned media outlets, like us.

With your help, more people will be able to get their local news from a trusted source In today’s age of misinformation, that’s more important than ever.

Thank you. We appreciate you.

Sincerely,

A22 The Delta Optimist July27,2023

DELTASPORTS Ladner’sTugboatsteamshiswaytoprocareer

Pitcher Matt Wilkinson passes on NCAA opportunity to sign with Cleveland Guardians

A whirlwind month of travel finds Ladner’s own “Tugboat” back in Arizona and he couldn’t be more thrilled.

Matt Wilkinson is spending these days at the Cleveland Guardians’ Player Development Complex in Goodyear, AZ after officially signing with the club on Saturday (July 22) The 21-year-old hard-throwing southpaw was selected in the 10th round by Cleveland in the MLB Draft back on July 11.

The facility is about an hour away from where Wilkinson starred at Central Arizona, earning National Junior Collegiate Athletic Association (NJCAA) D1 Pitcher of the Year

“It’s pretty cool here. There are resources, resources, everywhere,” chuckled Wilkinson in an interview with the Optimist last week from the state-of-the-art complex “I will be here for three weeks basing on how I do and how my ramp up because I haven’t thrown in a while. Depending on that they may send me to their low ‘A’ (affiliate team) or something similar. If not, I just stay here, develop and workout, which I’m fine with.”

Wilkinson opted to turn pro

and pass on a scholarship offer from Arizona State University for his final two years of NCAA eligibility. It was a decision he had been thinking about since he knew sometime ago there was a very good chance he would be drafted

“It was definitely hard and definitely a decision I had to think about a lot of what would be the best option for me. Growing up, my dream has always been to play professional baseball, not Division One baseball. So if I got that opportunity, I was going to take it,” he said.

Following his season at Central Arizona, Wilkinson pitched briefly for the Okotokos Dawgs of the Western Canadian Baseball League to prepare him for a stint with the Chatham Anglers of the Cape Cod Baseball League in Massachusetts a circuit loaded with top college talent. He improved his draft stock by working nine scoreless innings, allowing just one hit and striking out 10.

He then headed back to Alberta to watch the draft unfold and invited his two longtime friends Jakob Wegner and Jared Romaniuk to join him and also spent some time at the Calgary Stampede. They grew up

together playing in Ladner Minor Baseball where a friend of Wilkinson’s dad’s gave him the nickname “Tugboat” during his days playing T-Ball. It has stuck with him since as he

took his career to White Rock Little League, the Okotokos Baseball Academy and down south

“They have been my best friends since I was like five-

years-old They were like my first baseball friends and they will be at my wedding one day for sure, ” added Wilkinson “I’m still very close with a lot of my friends back home.”

Sports stories? Contact Mark at mbooth@delta-optimist com
CLEVELAND GUARDIANS PHOTO
July27,2023 The Delta Optimist A23 BSc,
in Real Property Valuation Royal LePage Regency Realty Ltd., 1333 – 56th Street, Delta, BC Contact Dean at 604.603.8538 or dbauck@deanbauck.com Personal Real Estate Corporation RealEstateConsultant
Ladner’s Matt “Tugboat” Wilkinson with his parents Tanis and Gavin during his official signing ceremony on Saturday at the Cleveland Guardians’ development complex in Arizona.
MBA, Diploma Urban Land Economics, Post Grad Certificate

Sports

2004Heatmakemostoffinaltripdownsouthtogether

MARK BOOTH

mbooth@delta-optimist

The 2004 Delta Heat certainly made the most of their final trip down south for tournament play.

The graduating rep girls fastpitch team captured the Seattle Metro 18U Championships with a dominating win over the Northwest Speed in the title game. The tourney took place over the Canada Day Weekend.

The run to gold started with a decisive win over the Washington Thunder. Kaylee Harper hit a lead-off single and Karley Telford belted the third pitch of the game over the right field fence and the rout was on.

The Heat scored six more runs in the second. Sydney Apelo Cruz got it going with a single followed by more base hits from Tiana Sullivan, Taylor Bowles, Cheyenne Simicak, Kennedy Ainge and Telford.

The locals kept pouring it on in the third as a Emma Wilson single was followed by a two-run homer from Clare

VanSpall to stretch the lead to 14-2

That was plenty of run support for pitcher Hannah Hiebert who scattered four hits

There were more offensive fireworks in game two against the Pacific Fury as Delta erased an early 2-0 deficit with a seven run second inning.

A Harper double, along with singles from Wilson and Apelo Cruz, were the key hits.

A Simicak bomb made it 8-2 before

the Fury responded with three of their own.

The comeback bid would end there as a Telford homer and a bases loaded double from Morgan Bowles broke the game wide open.

Reese Davies picked up the win, yielding four hits over three innings. Harper worked two innings of scoreless relief to earn the save

The Heat moved onto the playoff round and a match-up with the

Washington Thunder Bailey Jett, daughter of rock and roll legend Joan Jet, gave the American squad an early lead on a two-run homer

A solo blast from Ainge got Delta on the board and the girls eventually too the lead with three runs in the fourth Taylor Bowles would later hit an absolute cannon to left removing whatever doubt there was in the outcome to make it a 6-2 final.

Davies was outstanding in relief, going the full seven innings

The title game saw Simicak begin her monster outing at the plate by hammering a 1-2 rise ball into the left centre seats. She would go on to add six RBIs as the Heat scored in every innings

Telford also had a huge game with a homer and five RBIs, while Ainge reached base four times

Some terrific defence included Morgan Bowles starting a 4-6-3 double play in what ended as a 13-1 romp

Unavailable for the tournament were Juliana Parkes and Emma Kolousek.

SUBM TTED PHOTO It was a perfect run in Seattle earlier this month for the 2004 Delta Heat. A24 The Delta Optimist July27,2023 Custom Pull-Out Shelves for your EXISTING cabinets and pantry. Call for Your FREE Design Consultation: 778.719.6933 Visit our showrooms in Woburn and Sudbury For more information, see shelfgenie.com one offer per household. Must purchase 5+ Classic/Designer Glide-Out Shelves. EXP 6/30/23. Independently owned and operated franchise. © 2023 ShelfGenie SPV LLC. All rights Reserved. MA HIC License #16504 07/31/23. one offer per household. Must purchase 5+ Classic/Designer Glide-Out Shelves. EXP 6/30/23. Independently owned and operated franchise. © 2023 ShelfGenie SPV LLC. All rights Reserved. MA HIC License #16504 604-757-0441 Come see us at the PNE Market Place KITCHEN CABINETS DONE IN 1 TO 2 DAYS! D CABINET REFINISHING 70% Less Than Replacing or Refacing! Wespecializein ProtectingYour Investment! UPTO TRACEY BOOTH - FOUNDER Before After GOT GREASE? GOT PEELING? GRLOOKS EAT! CELEBRATING30YEARS REFINISHINGCABINETS! FREE DEMOS FREE ESTIMATES NO TOXIC CHEMICALS NO DUST! Love your cabinets, but not how they’re worn? Gleam Guard offers a simple, cost-effective solution. We also refresh cabinets which costs less than refinishing. Text cabinet pictures to 1-604-218-7470 or call. www.gleamguardcabinetrefinishing.ca

13U Red Sox sizzle at Kelowna tourney

The Ladner Red Sox 13U A team beat the sweltering heat and an impressive field of opponents to capture Kelowna’s largest minor baseball tournament on the weekend Valley of Champions.

Battling 37C heat along the way, the Red Sox compiled a perfect 6-0 record highlighted by a come-from-behind victory over Abbotsford in the championship game

The tournament triumph provides plenty of momentum for the home stretch of the summer all-star season with provincials on the horizon

The team includes: Mason Decker, Tristan Aulik, Avery Rosen, Kaiden McKim, Mason Sturrock, Carter Leung, Nathan Davies, Chace Grant-Letts, Kingston Batista, Mason Miller, Ryan Spence, Oskar O’Toole and Brennen

Carroll

Sports
SUBMITTED PHOTO
13U Ladner Red Sox rolled to a perfect record in Kelowna.
July27,2023 The Delta Optimist A25 Just Sold! #121-4638 Orca Way, Seaside Sold Sold Sold

Outstanding FARMLAND VIEWS from your backyard give this home a complete sense of serenity. This home features living room with wood fireplace, family room with loads of windows to enjoy the view, 4 bedrooms, den and a recreation room. 2,186 square foot home with single garage plus RV parking. 7,480 square foot lot with large, south exposed backyard.

4810 42A Ave, Ladner $1,499,000

Come check out this main floor living home on a 7,550 square foot lot in the heart of Ladner. 3 extra large bedrooms upstairs Spacious east exposed back yard and ***900 SQUARE FOOT GARAGE/ WORKSHOP or potential to create a suite 5 year young roof, close to Hawthorne elementary school, bus loop, shopping and easy access to Highway 17.

$1,289,000

A26 The Delta Optimist July27,2023 5030 10A Ave, Tsawwassen $1,259,000 info@thechanceyteam.com thechanceys.com LINDA CHANCEY Personal Real Estate Corp. BOB CHANCEY Personal Real Estate Corp. THE CHANCEYS REAL ESTATE GROUP 604-946-8899 C TY REALTY The only Re/Max Team in South Delta to achieve the prestigious PINNACLE CLUB award! SPACIOUS FAMILY HOME! 5365 6 Ave, Tsawwassen $1,888,000 You will love this ncredible 2,878 square foot, elegant 5 bedroom family home Well maintained with great curb appeal, terrific flow, classic grace and character Main level with a welcome centre hall foyer, a gracious living room with a fireplace, formal din ng room, spacious family room, open kitchen concept, stainless steel appliances, gas cooktop. Access to a wonderfully private back yard with patio and hot tub Stunning features enhance almost every room; h gh ceilings, crown mouldings and more Office or Bedroom on main floor adjacent to 4 piece bath the very spacious second-floor master bedroom with ensuite bathroom has several windows and is beautifully appointed This floor also features 3 more bedrooms and 2 more baths! Close to all amenities! INVESTMENT OPPORTUNITY - MASSIVE GARAGE/WORKSHOP COUNTRY LIVING IN THE CITY - JUST LISTED 4848 57th Street, Ladner PRICE REDUCED
4980 58B St $1,849,000 780 Gilchrist Pl, Tsawwassen $1,599,900 1, 6105 River Rd, Ladner $1,169,000 5493 Wildwood, Tsawwassen $1,399,999 C304, 4831 53 St, Ladner $668,000 JUST SOLD IN APRIL 4535 66 St , Ladner $1,028,800 JUST SOLD IN MAY JUST SOLD IN MAY AS BUYERS AGENT iver R JUST SOLD IN MAY JUST SOLD IN MAY AS BUYERS AGENT JUST SOLD IN MAY AS BUYERS AGENT t, JUST SOLD IN MAY JUST SOLD IN MAY JUST SOLD IN JUNE AS BUYERS AGENT JUST SOLD IN JUNE JUST SOLD IN JUNE 210, 4989 47 Ave, Ladner $625,000 West Coast Estates, Tsawwassen 209, 1150 54A St, Tsawwassen $788,000 5464 Candlewyck Tsawwassen $1,169,900 4581 53rd St, Ladner $1,799,000 5037 57A St, Ladner $1,399,000 5278 Westminster Ave, Ladner $1,699,000 JUST SOLD IN APRIL JUST SOLD IN APRIL A e, Tsawwass JUST SOLD IN MAY
July27,2023 The Delta Optimist A27 5402 RAWLINS CRESCENT 5 BEDS / 3 BATHS / 3063 SQ. FT. OFFERED AT $1,624,999 $1,624,999 LARGE SOUTH EXPOSED YARD IN A CUL-DE-SAC! COMING SOON! OVER 3700 SQ FT 5167 CLIFF PLACE ONE OF A KIND RANCHER! WITH COTTAGE! 4 BEDS / 3 BATHS 13136 62A AVENUE 3 BEDS / 2 BATHS / 1605 SQ. FT. OFFERED AT $1,424,999 $1,424,999 UPDATEDRANCHERIN PANORAMARIDGECUL-DE-SAC! 40 - 5900 FERRY ROAD 4 BEDS / 3 BATHS / 2220 SQ. FT. OFFERED AT $1,499,000 $1,499,000 MASTERONTHEMAIN/WATER VIEWINCHESAPEAKELANDING! SOLD 1826GOLFCLUBDRIVE 3BEDS/3BATHS/1934SQ FT OFFEREDAT$1,499,000 $1,499,000 GORGEOUS,UPDATED HOMEINIMPERIALVILLAGE! SOLD 114 4768 53 STREET 2 BEDS / 2 BATHS / 1006 SQ. FT. OFFERED AT $569,800 $569,800 CORNERUNITWITH WESTERNEXPOSURE! SOLD 213WOODLANDDRIVE 3BEDS/2BATHS/RANCHEROVER2500SQ FT. NEWPRICE$1,499,000 COMPLETELYRENOVATED HOMEINTHETERRACE! $1,499,000 SOLD 107N110056STREET 2BEDS+DEN/2BATHS/1365SQ.FT. NEWPRICE$774,900 SPACIOUS 2 BED & DEN AT ROYAL OAKS! $774,900 Whether you’re moving around the corner or across the globe WE CAN HELP! AILEEN NOGUER REALTOR® PERSONAL REAL ESTATE CORPORATION LEAH GROVES REALTOR® Contact us at (604) 946-1595 or AILEEN@AILEENNOGUER.COM SEE MORE at AILEENNOGUER.COM RE/MAX Westcoast FollowUs+ SellWithUs! Top 1% of Realtors *GVREB #58 - 6533 121 STREET SURREY 2 BEDS / 2 BATHS / 1294 SQ. FT. OFFERED AT $819,999 BEAUTIFUL2BEDTOWNHOME INSTONEBRIARCOMPLEX! $819,999 PROUD RECIPIENT OF THE CIRCLE OF LEGENDS AWARD. Only 055% of all RE/MAX agents worldwide and 1.27% nationwide have earned this recognition. CERTIFIED LUXURY HOME MARKETING SPECIALIST YOUR LOCAL REALTOR SINCE 1993! 505900FERRYROAD 3BEDS/3BATHS/2197SQ.FT. OFFEREDAT$1,499,999 MASTERONTHEMAINAT CHESAPEAKELANDING! $1,499,999 SOLD

This 2200 sq ft Diamond in the Rough is ready for your decorating ideas. 4 bedrooms, 2 baths, and walk to central Tsawwassen shops. Options for in law accommodation too Quiet 10,000 sq ft lot. Perfect for play, family or rebuild Limited showings so call in advance.

A28 The Delta Optimist July27,2023 Personal Real Estate Corporation 604-790-5859 | www alisonsteen com Looking for guidance on your next purchase or sale? With many years of experience in the Real Estate industry, I’m proud to be able to bring a wealth of insider knowledge to your search or sale and help you to navigate the buying and selling process confidently. Get in touch today! Living and working in South Delta for more than 40 Years! Sutton Group - Seafair Realty | 1625 - 56 Street, Delta, British Columbia V4L 2B2 RECENT SALES 22 4638 ORCA WAY 2 BED AND DEN 2 BATH 1,255 SQFT (listed by Pacific Evergreen Realty LTD). SOLD SALT AND MEADOW D4 PLAN 2 BEDS 1 BATH | CONDO. 659 SQFT Marketed by Rennie SOLD 878 57 STREET $2,750,000 6 BEDS | 6 BATHS | 5,988 SQFT SOLD 1426 VIEW CRESCENT | $998,000 2 BEDS 3 BATHS 2,560 SQ FT SOLD 4916 11A AVE $998,000 3 BEDS 1 BATHS 1,534 SQ FT SOLD WHYDOYOUTHINKOURNUMBERIS604-943-SOLD? BobCooke 604-943-SOLD(7653) • bobcooke@telus.net ServingLadner,Tsawwassenandtheworldforover30years. ReMax City Realty JUSTLISTED $1,298,000 $988,000
TH
3LEVELSIDESPLITONAHUGELOT
147354
ST,TWSN
1152FAIRWAYVIEWS,TWSN 3LEVELTOWNHOMEONTHEGOLFCOURSE Lovely 3 level townhome featuring 3 bdrms and 3 baths with updated windows, doors, roof, decking, flooring and more Pride of ownership in this 2276 sq ft piece of paradise with eastward views over Beach Grove Gulf Course From this tranquil setting you can walk to the shops and restaurants.

28 avenue

37.25 Acres

Welcome to Tsawwassen, the sunniest, least rainiest place in all of Metro Vancouver. This 37.25 acre parcel of Prime A1 agricultural farmland sits on some of the most fertile & productive soil in BC and this Summer’s crop of choice is none other than local, South Delta corn With easy & convenient paved road access for machinery and an outbuilding once used as a country vegetable stand, this farmland forms part of a rich, long standing & well known farming community whose reputation & products have earned world wide interest.

Updated East Ladner single family home is summer ready & ideally located in a quiet cul-de-sac Steps to Holly Park Elementary, a state of the art all weather artificial turf field, bike park, transit & easy access to Hwy 17 & Hwy 99. This lovingly cared for, turnkey home is ready for a family & incl’s some of the finer things like numerous tech upgrades, an amazing floor plan & a beautiful kitchen

July27,2023 The Delta Optimist A29 1333 56 Street, Delta Regency Realty Ltd Independently Owned & Operated brad: 604-779-6764 becirrealestate.com frank: 604-862-5731 TSAWWASSEN 1826 GOLF CLUB DRIVE 3 Bed | 3 Bath | 1934 ft2 $1,499,OO0 the heart of our business is people sold ladner 4702 holly park wynd
Bed + Loft | 3 Bath | 2218 ft2
3
$1,549,900
TSAWWASSEN 6020
$5,990,000 LADNER 113-4768 53 STREET 2 Bed | 2 Bath | 752 ft2 $579,000 TSAWWASSEN 123-1792 STARLING DR 2 Bed | 2 Bath | 756 ft2 $549,000 TSAWWASSEN 4726 SPRUCE WAY 3 Bed | 3 Bath | 2040 ft2 $1,325,000 TSAWWASSEN 103-1942 STARLING DRIVE 1 Bed | 1 Bath | 471 ft2 SOUTH SURREY 17245 3A AVENUE 5 Bed + Flex | 4 Bath | 3523 ft2 $1,679,000 sold sold sold sold sold sold
A30 The Delta Optimist July27,2023 Sharon Rohwer 604-760-7163 Unlicensed Assistant info@thedeltagroup.ca Tim Rohwer 604-762-2041 Commercial Residential Specialist info@thedeltagroup.ca T he De lta G ro u p.c a Tim & Sharon “We Can Relate” Regency Realty Ltd. 1333 - 56th St., Delta, BC V4L 2A6 REAL ESTATE QUESTIONS? JUST GIVE US A CALL! • Home accommodates the family that needs 4 bdrms 2 baths or inlaw suite • Private yard features organic gardens, raised beds & fruit trees • Solar panels & heat pump etc offer a cost effective lifestyle • Popular Beach Grove location steps to school & ocean 5844 17A Avenue $1,158,000 REMARKABLE GREEN ENERGY HOME IT’S ALWAYS A FINE DAY LIVING HERE! • Best Location in complex at Fairway Views • Spectacular 2188sf 3-4 Bdrm 3 Bath end unit Townhouse • Enjoy panoramic views from the spacious living areas • Huge garden patio overlooks 6th Green at Beach Grove Golf plus balconies • Only steps away from all Tsawwassen amenities 1144 Fairway Views $1,034,000 Gus says: Just listening to the silence! It has so much to say! 304-1175 Ferguson Road $549,900 • Steps from Boundary Bay scenic dyke trail • Main floor featuring large living room, dining room, spacious kitchen • Also incls 2 pce bath,laundry rm & mud rm • Upstairs primary bdrm with ensuite, 3 more bedrooms, flex rm & 4 pce bath • Nothing to do but move in • West facing back yard - extra parking at side yard 1749 Duncan Drive $1,599,000 FABULOUS BEACH GROVE LOCATION SOLD JUSTSOLD 306-1120 Tsatsu Shores Dr $749,900 JUSTSOLD on 48th Avenue SUNDAY 10 - 4 AUGUST 13 & 27 No Dogs Allowed ladnervillagemarket.com Connecting agents to the community Reach more home buyers and sellers in your market 778-875-3594 | ppelletier@delta-optimist.com
July27,2023 The Delta Optimist A31 (604) 868-0028 www.nataliewalker.ca City Realty NEW PRICE $835,000 205-5500 13A AVENUE, TSAWWASSEN The Shaughnessy - Spacious 2 bedroom, 2 bath 1,342sf corner unit in the most amazing location adjacent to Tsawwassen Town Center & Highland Park Fabulous layout with generous room sizes MLS# R2721122 $1,449,000 8-4638 ORCA WAY, TSAW Seaside by Mosaic 2,246sf 4 bed 3 bath 1/2 duplex in the best location in the complex with ocean & greenbelt views Plenty of upgrades and the spectacular tower set this apart from anything else on the market MLS# R2795054 The Geffke Top 10% in SALES of ALL GREATER VANCOUVER for 38 YEARS#1 at ROYAL LEPAGE REGENCY Rlty for 10 YEARS info@geffketeam.com • www.geffketeam.com Johanna 604-719-7345 Medallion Club 30 Years Stefan B.B.A. 604-767-4038 Medallion Club 12 Years Bonnie Ma Assistant Speaks Mandarin & Cantonese TEAM CALL US FOR A FREE MARKET EVALUATION! REGENCY REALTY 1333 - 56th St, Tsawwassen (next to Starbucks) (We speak German, Finnish, Cantonese & Mandarin) READY TO SELL YOUR HOME? SO ARE WE! GIVE US A CALL! 604-767-4038 $1,255,000 $1,319,000 $800,000 $849,000 OUR RECENT SALES: COMING SOON! ON PACIFIC DRIVE, LOVELY 2,179 SQ.FT. RANCHER FEATURING 3 BDRMS, QUIET, CUL-DE-SAC LOCATION.
A32 The Delta Optimist July27,2023 www taylorbrownrealty com 604-362-0350 info@taylorbrownrealty com @TaylorBrownRealEstate Taylor Brown Personal Real Estate Corporation When one of your biggest investments is being purchased or SOLD, the key factor in the outcome is always within the strategy Thinking of Selling? This communication is not intended to cause or induce breach of an existing agency agreement. Let’s decide together if this market is for you & come up with a tailored marketing plan to get your home SOLD for top dollar in todays market! LET S GET YOUR HOME SOLD 2 Bedrooms + Den l 2 Bathrooms l 1,117 sq ft apartment $749,900 | 219-1792 Starling Drive, Tsaw 2 Bedrooms + Den l 2 Bathrooms l 1,633 sq.ft. $929,000 | 5485 Pennant Bay, Delta 4 Bedrooms l 3 Bathrooms l 3,267 sq ft l Horse/animal barnMechanic dream shop Covered 50x100 storage barn l 6.53 acres $4,288,000 | 3845 Wellington Road, Delta Just Listed $1,449,000 | 8 4638 Orca Way, Delta 4 Bedrooms l 3 Bathrooms l 2,246 sq.ft For Sale 33-4375 Cormorant Way Tsawwassen 204 16 Lakewood Dr, Vanc $499 000 4857 55B Street, Delta $899 999 109-2460 156 St, South Surrey $799,800 Listed by Homelife Benchmark Realty Corp 1619 Farrell Cres, Tsaw $2,580,000 Listed by RE/MAX Select Real y 4460 Hutcherson Lane, Delta $1,265,000 Listed by Su ton Sea air Realty 6-4887 Central Ave, Delta $949,900 46-5510 Admiral Way Ladner $1,250,000 MULTIPLE OFFERS 520 20673 78 Ave, Langley $559,000 MULTIPLE OFFERS Just So d Just Sold Just So d Just So d Just Sold Just Sold Just Sold Just Sold Just So d NEW PRICE $579,000 | 218-1120 Tsatsu Shores Drive, Tsawwassen 1 Bedroom l 1 Bathroom l 673 sq.ft. l Beachfront Just Listed MULTIPLE OFFERS 4641 55A Street, Delta $1,379,000 MULTIPLE OFFERS 4386 48A Street, Delta $1,250,000 MULTIPLE OFFERS MULTIPLE OFFERS 4827 Central Avenue, Delta $950,000 Listed by Sutton Sea air Realty 5995 Crescent Dr Ladner $1,299,000 Just So d Just Sold Just Sold Just Sold scan with your camera to view all of my listings NEW PRICE Just Sold MULTIPLE OFFERS Just Sold
July27,2023 The Delta Optimist A33 Todd Jackson, B.A. Personal Real Estate Corpora on Richard Lowe, RIBC Personal Real Estate Corpora on Amy Lambert, B.A. Personal Real Estate Corpora on Mike Van Straaten, BMgt Realtor 7-5661 Ladner Trunk Rd Ladner #302-4885 53 Street Ladner 370 53A Street Tsaw 5627 52 Avenue Ladner SOLD SOLD P esdentsClub-2020 Top1%-REBGV #104-7600 Francis Road Richmond SOLD SOLD #44-20350 68 Avenue Langley #50-5900 Ferry Road Ladner SOLD SOLD 5162 57A Street Ladner SOLD SOLD 5531 49 Avenue, Ladner $1,449,000 8,288 sq.� lot l 3 bedrooms l 2 bathrooms California living without the traffic and earth quakes! Located in a quiet cul-de-sac and backing onto Leslie Park this home is an outdoor oasis with an in ground pool, hot tub, private yard and two powered out buildings. Plenty of parking out front for an RV or Boat! #121-4638 Orca Way, Tsaw $1,129,000 2,168 sq.� l 4 bedrooms l 3 bathrooms 1/2 duplex backing onto Springs golf course in one of Tsawwassen’s best complexes Fantas c layout with large master on the main. 2 Bedrooms up and large room down that could easily be used as an in-law or nanny suite! Amazing ameni es building! #201-4755 51st Street, Ladner $799,000 1,155 sq.� | 2 bedrooms | 2 bathrooms | Ladner Village Gate Convenience at your doorstep! Located on the fringe of Historic Ladner Village is this amazing 4 year old corner unit in a bou que building w/ open concept and surrounded by windows. 5692 Clipper Road, Ladner $1,688,000 2,552 sq.� l 4 bedrooms l 3 bathrooms l 6,987 sq.� lot This execu ve custom built, one-owner home, offers main floor living w/ den, formal living & dining areas, plus an updated open concept living & kitchen area w/ bay windows overlooking private yard & gardens. Extra long garage, 4 gas fireplaces, IG sprinklers, fresh paint, A/C in family & master bedroom. 99 E. 16th Avenue, Vancouver $1,619,000 1,273 sq.� l 3 bedrooms l 3 bathrooms This beau fully appointed corner unit townhome has the perfect combina on of loca on, size & features! Situated in one of the most desirable pockets of Mount Pleasant w/ an over 500 sq� roo�op deck & a private turfed yard. 5163 Kilkenny Place, Tsaw $1,629,000 2,200+ sq.� l 4 bedrooms l 2.5 bathrooms l 8,051 sq.� lot BE CHOOSEY! 3-level side split with a long list of updates, private west exposed backyard, 4 bedrooms, plenty of parking & close to schools. Homes in this condi on are in ‘short supply’ YOUR SEARCH HAS ENDED 4856 48th Avenue, Ladner $1,799,000 2,595 sq.� | 4 bedrooms | 2 bathrooms | 3,863 sq � lot Historically known as Roycro�, this is an impressive 2 storey home restored to its Edwardian era with detailed cra�smanship & millwork dis nguished by its octagonal turret & high ceilings on both floors. Prominent corner loca on in the heart of Ladner A stunning piece of artwork & history 4835 59A Street, Ladner $1,649,900 3,209 sq.� l 7 bedrooms l 3 bathrooms l 6,695 sq.� lot Two level family home with double car garage. Main floor offers living room and family room space. Excellent for extended family with easy suite poten al plus room for students or nanny West exposed corner lot with mature landscape 5045 Central Avenue, Ladner $1,199,000 1,049 sq.� l 3 bedrooms l 1 bathroom l 6,349 sq � lot ENDLESS OPTIONS! Well maintained one level home in central Ladner, perfect as a starter home, re rement rancher, investment property, or build new! Many updates, private west facing yard, & detached garage. OPEN SUNDAY 2-4PM SOLD SOLD #124-5535 Admiral Way, Ladner $1,299,000 1,364 sq.� l 3 bedrooms l 2 bathrooms Spacious 3 bedroom corner apartment at sought a�er Pilothouse. Ground level unit with separate entry Features oversized pa o off gourmet kitchen and dining area. Exclusive use of Hampton Club and all its ameni es just steps from your home. NEW LISTING SOLD SOLD

$569,999

$1,539,000

5217 Upland Drive

Discover this charming 3 bed, 2 bath rancher in cliff drive This updated home boasts forest and mountain views, a patio, and a beautiful garden on a spacious 11,324 sq ft lot Fantastic opportunity to own in one of Tsawwassen’s premier locations with potential to build up to 4396 sq ft Conveniently located near the ferry terminal, mall & shopping, this home offers both Tranquility and accessibility. Step into the open concept layout, flooded with natural light, embrace the serenity of your private retreat, savouring morning coffees on the patio. With updated features such as kitchen, bathrooms, furnace, h/w and more, enjoy modern comfort and rustic natural beauty, this rancher is a lifestyle choice Don’t miss the chance to seize your dream home on upland drive - where paradise awaits!

$1,988,000

$1,488,000

#313 20750 Duncan Way

Fantastic layout in central location in Langley City 1,115 sqft 2 Bedroom, 2 Bath + Den 3 floor unit with South West Exposure in “Fairfield Lane” Generous size rooms including 17 x 10 ft Master with large ensuite and walkin closet Large covered patio, 2nd bedroom and den/office, laudry/storage room Granite counter tops, stainless steel appliances and more Easy walking to Kwantlen College, shops, transit & walking trails There are also 2 underground parking spots & a storage locker. This is truly a great place to call home.

4974 Stevens Lane

This large 4 bedroom/4 bathroom rancher is located in Upper/Central Tsawwassen on a quiet cul-de-sac. Situated on a South facing/park-like 14316 sq ft lot, this custom built rancher for original owners is on the market for the first time. This sprawling rancher, just over 3000 sq ft, boasts a fantastic layout with legal in-law suite (ideal for extended families), huge south facing back yard, 2 street frontages with a detached 600 sq ft garage in the back plus parking in the front. 2 Blocks to English Bluff Elementary School and South Delta Senior Secondary Home is ready for a new family to bring their own design ideas and make it their own.

65 Deerfield Place

Charming 3 bedroom/2 bathroom rancher in “Deerfield”

Located on a quiet cul-de-sac backing onto greenspace. At 2167 sq ft this rancher has a fabulous layout with an oversized primary bedroom with walk in closet and sliding doors opening onto private patio Large living and dining room opening up to sun drenched west facing patio overlooking mature landscaped garden Radiant in floor heat, skylights, hardwood flooring. This home has been lovingly looked after by the original owners, bring your own design ideas to make it yours.

A34 The Delta Optimist July27,2023 Eugene Knoedler 604.219.3177 Eugene@eugenek.ca Jack Knoedler 604.353.6410 JackKnoedler@remax.net SERVICE ND RESULTS YOU ESERVE Eugene Knoedler PERSONAL REAL ESTATE CORPORATION 2021 * Meda l on C ub represents the top 10% o Greater Vancouver Rea tors based on MLS sales DELTAREALESTATE.NET ndependent y Owned and Operated RE/MAX City Realty | 5090 48 Avenue, Delta, BC V4K 1V8 | Office 604.943.8080 | Eugene@eugenek.ca | deltarealestate.net
SOLD SOLD
NEW
PRICE
NEW LISTING JUSTSOLD
Connecting agents to the community Reach more home buyers and sellers in your market 778-875-3594 | ppelletier@delta-optimist.com
in5days
July27,2023 The Delta Optimist A35 LANCE HUGHES 604.943.8080 ■ 604.833.3844 LIFETIME MEMBER Re/Max City Realty Personal Real Estate Corporation White Rock building lot 41.20’ x 127 20 can build 3 level home with basement. Minutes to all amenities, schools, shopping 15919 Russell Avenue White Rock $1,299,000 BUILDING LOT Queensborough - One of the largest heritage style homes in Thompson Landing. This home offers 1 bedroom on the main & 2 large masters above. Features includes: hardwood floors, vaulted ceilings, gas fireplace & southern exposed back yard and only minutes to playground, River Parks & buses. Priced below assessed value. 1404 Salter Street $1,198,000 This spacious corner/end unit is very private and quiet with more windows and a larger front yard. Stone countertop Wide ope spaces Perfect for kids. #172-1894 Osprey Drive $799,000 JUST SOLD NEW PRICE Re/Max Real Estate Services www.westcoastfarmsteads.com info@johnnielsen.ca 110-3540West41stAve,VancouverV6N3E6 John Nielsen PERFORM NCE Real Estate Ser ice 35 Successful Years The next move is yours... Experience • Knowledge • Professionalism 604.250.8216 CALL JOHN TODAY NEW PRICE! MLS R2711985 360º TOUR 20 ACRES, 2 HOMES & HUGE BARN 4774 104TH STREET $6,250,000 First time this amazing secluded 20.25 acre parcel has been offered for sale since 1955 which is located just off Hornby Drive on the quiet section of 104th close to Boundary Bay and private member grass airstrip. All 3 buildings on this property were built in 1972 which includes a sprawling 3,162 sq. ft. 4 bedroom rancher w/30 + car concrete driveway was substantially renovated and enlarged in 1987 and roof redone 10 years ago. The second residence is a 1238 sq. ft. Woods bungalow presently rented and the spectacular 8,400 sq ft 20 stall barn which was used from day 1 to breed race horses up until 7 years ago is truly a first class facility complete with steel roof and cladding Attention to detail here is second to none including chain link fencing that surrounds the entire property PORT GATEWAY MLS R2775898 360º TOUR AMAZING FUTURE POTENTIAL 2975 53RD STREET $5,950,000 Almost square 17 34 acre parcel with 823 ft of road frontage features an English style country home, 5 stall barn, hay field and generous pasture area which has been an established equestrian facility for decades The property offers an ideal central location just 5 minutes to Tsawwassen or Ladner, Tsawwassen Mills Mall, BC Ferries, DeltaPort Way, TFN Industrial Park, transportation and more This parcel is close to BC Railway in an area of transitional properties with amazing future potential. Call anytime for more information. NEW PRICE! 1160 EHKOLIE CRESCENT $1,549,000 THE VILLAGE! This tastefully renovated rancher with walkout basement on quiet no thru road in a beautiful area of upper Tsawwassen is ideal for the growing family or downsizing with room for company downstairs Featuring well over a $100,000 was spent 10 years ago to create the warm spacious wide open plan up with an amazing optioned out gourmet kitchen with S/S appliances and enlarged primary bedroom with nicely done ensuite Other notable updates include the windows with Hunter Douglas blinds, Lennox 95% efficient furnace and brand new H/W tank The home lends itself to natural suite potential down plus a sunny West exposed composite deck out front and a very large fenced backyard with fresh grass with bonus backyard access to English Bluff Road perfect for the utility trailer Come check out this super inviting comfortable home MLS R2770705 360º TOUR SOLD! Harry Ratchford 604-315-2633 chratchford@gmail.com Call Harry for a FREE MARKET EVALUATION of your home! AMEX BROADWAY WEST REALTY - SUITE 201-10055 W BROADWAY - 604.738.8878 Brian Elsey 604-551-9396 belsey@telus.net Well maintained 3 bedrooms Rancher in Central Tsawwassen Located on a huge 19,750 SQFT fenced lot with 78 FOOT frontage Detached 10’x12’ studio with skylight, tile fl ooring, power Garden shed Updates include: new roof (2 yrs), Hot water tank (1 yr) Beautiful private deck and patio with gazebo, fi sh pond, perfect for summer enjoyment. Schools, transportation, recreation and shopping all within walking distance $1,225,000 1084 53A STREET JUSTSOLD

$1599,000

5093 7B AVENUE, TSAWWASSEN

Beautiful updated split level home on large private lot in upper Tsawwassen. This home features 4 bdrms, 3 full baths, huge primary bdrm & ensuite, gourmet kitchen and good floor plan that suits main lifestyles Fabulous location on quiet street in Upper Tsawwassen Don't miss this home, it's a great home

$1,099,000

ROYAL OAKS PENTHOUSE

#402N-1100 56TH

STREET, TSAW

Fabulous 3 bedroom penthouse at Tsawwassen's Royal Oaks This rare find has never been on the market and truly is one of the best units in this development Excellent floor plan with huge living, dining area, beautiful bright great room, big master suite and 2 private sunny decks. Don't miss this special penthouse. Call for your exclusive showing.

Call ROBIN 604-868-2844

5424 CANDLEWYCK WYND, TSAWWASSEN

Fabulous Resort Style Rancher with a pool This beautiful rancher has sunny western exposure and gorgeous landscaping that surrounds a totally private pool and jacuzzi. Home has a great floor plan featuring 3 bedrooms and den with an outstanding spa like bathroom. Home is designed to take advantage of the amazing sunrises and sunsets Direct Park access on no through street with sunny western exposed yard Come home to your private resort

Call ROBIN 604-868-2844

Custom build your new home with Tsawwassen's finest builder on one of the best view lots in Tsawwassen We have plans of approx 5000 square feet but are open to building your dream home For more information

Call ROBIN 604-868-2844

A36 The Delta Optimist July27,2023 ROBIN REIMER 604-868-2844 ROBINREIMER.COM ROBINREIMER@TELUS.NET #1 SOUTH DELTA 37 YRS MLS MEDALLION CLUB* Seafair Realty - 1625 56th Street, Tsawwassen www.robinreimer.com group *BASED ON # OF YEARS QUALIFYING FOR MEDALLION CLUB IN GREATER VANCOUVER REAL ESTATE BOARD 1983, 1984, 1985, 1986, 1987, 1991, 1992, 1993, 1994, 1995, 1996, 1997, 1998, 1999, 2000, 2001, 2002, 2003, 2004, 2005, 2006, 2007, 2008, 2009, 2010, 2011, 2012, 2013, 2014, 2015, 2016, 2017, 2018, 2019, 2020, 2021 & 2022 robinreimer@telus.net
ROBIN 604-868-2844 JUST LISTED $1,699,000
Call
July27,2023 The Delta Optimist A37 Seafair Realty - 1625 56th Street, Tsawwassen www.robinreimer.com group *BASED ON # OF YEARS QUALIFYING FOR MEDALLION CLUB IN GREATER VANCOUVER REAL ESTATE BOARD 1983, 1984, 1985, 1986, 1987, 1991, 1992, 1993, 1994, 1995, 1996, 1997, 1998, 1999, 2000, 2001, 2002, 2003, 2004, 2005, 2006, 2007, 2008, 2009, 2010, 2011, 2012, 2013, 2014, 2015, 2016, 2017, 2018, 2019, 2020, 2021 & 2022 robinreimer@telus.net OPEN HOUSE SATURDAY 2-4PM 5744, 5754 & 5758 16A AVENUE,TSAWWASSEN Gorgeous new homes in Beach Grove. Still time to do some customizing. Excellent floor plans with 3250 sq.ft. and beautiful sunny southern exposure yards. 5 bedrooms, 5 bathrooms. Great quiet area and close to all amenities. Don't miss your opportunity to live in fabulous Beach Grove. Homes built by an excellent experienced builder. Please call Robin Reimer 604-868-2844 / Ruby Lidder 604-626-9360 $2,099,000 4950 CEDAR SPRINGS DRIVE LOCATION LOCATION LOCATION!!! One of the best single family homes on Tsawwassen Springs Golf Course with fabulous views of lake and golf course and sunny western exposed yard. Home features a great floor plan with 4 bedrooms, 4 bathrooms and Fabulous Great Room that open to beautiful views of Golf course lake and wildlife This home is approx. 2600 sq ft with an oversized garage with room for golf cart and the best location for guest parking Don't miss this RARE find!!! Call ROBIN 604-868-2844 - 3 new homes in Tsawwassen - 4800 square feet - Legal suite - Customize your new home Call for plans & information ROBIN 604-868-2844 $2,499,000 Fabulous opportunity to purchase one of Ladner's historic family businesses This great pub is located on Ladner's inner harbour with marine access and potential marine business. The business has been great for decades and now is time for another buyer to put their own business ideas and energy to continue this long established pub Call ROBIN 604-868-2844 $2,899,000 SPEED'S PUB FOR SALE 111 GRAHAM DRIVE BEST SUNSET VIEWS & LOCATION Custom Designed Home with simply the Best Views in Tsawwassen. This Totally Private 2 Bedroom & Den home has an Outstanding Open Floor Plan to take full advantage of all the spectacular Ocean Sunset Views. Delta will also consider a basement level if you need more square footage. There will NEVER be another home like this in Tsawwassen. Call for Floor Plans and more Info. Call ROBIN 604-868-2844 MASSIVE PRICE REDUCTION $999,000
A38 The Delta Optimist July27,2023 seafair realty 5000 Bridge Street Ladner 604.943.3110 778.773.9563 kjohnson@sutton.com Kat JOHNSON #15 - 700 S Dyke Road New Westminster• $499,000 • Rare one of a kind water lot in a strata community that will allow you to acquire a float home or build a new home. • Lot is approx 50 x 50 #1 - 800 South Dyke Road New Westminster • $889,000 • 2 bedroom and den float home in New West • Stunning panoramic views from sunrise to sunset • Close to shopping, restaurants and highway connections #12 - 23080 Dyke Road Richmond • $369,000 • A Wonderful community to call home • Life on the water will be special in this floating home with just under 800 square feet WATERFRONT #28-3871 River Road Ladner• $239,000 • 1 bedroom, 1 bathroom, 500 sq.ft. float home • This home can be moved to a new location elsewhere • Unqiue opportunity for a project property WATERFRONT WATERFRONT WATERFRONT #42 - 3459 W River Road, Ladner $1,299,000 • Gorgeous custom built 2 bed and den floating home, includes strata water lot, boat slip - 34 Ft, outside dock position at outer edge of canoe pass • Single car garage and extra parking. WATERFRONT NEW LISTING SOLD 5172 11A Avenue, Tsawwassen $1,399,000 • 3 bedroom, 2 bath, 1,794 square feet • Corner lot - home needs extensive updates inside & out • Or Demolish the home and build new 4533 W River Road, Ladner $1,299,000 • Sensational Waterfront property with revenue from two float homesseparately owned • Turnkey property • 2 bedrooms, 1 bathroom, 1081 sq.ft. • Home can be used as AirBnB Double land lot. Water lease and room for two float homes on water lot plus boats. 4515 W River Road, Ladner $3,299,000 WATERFRONT WATERFRONT 4533 W River Road, Ladner $279,000 Float home. 2 bed 1 bath. Approx 700 sq feet. WATERFRONT NEW LISTING

3450 64 Street - Ladner

New

Listing

2 | 1 | 2,000 sq ft | 6,534 sq ft lot | $1,159,000

Experience the charm of country living in this cute farmhouse! The interior features a blend of rustic character & modern comforts boasting refinished original hardwood floors, a cozy gas fireplace in the living room & a spacious kitchen. The unfinished basement with outside access presents an exciting opportunity to customize to suit your needs. The gated private lot offers space for a garage or workshop Savour the tranquility of the surrounding farmland with mountain views & gorgeous sunsets, make this quaint house your own!

539 55 Street - Tsawwassen

6 | 4.5 | 3,355 sq ft | 7,524 sq ft Lot | $1,859,900

Experience modern luxury in this stunning family home. Beautifully renovated w/premium fixtures & contemporary finishes. Chef’s kitchen + side prep kitchen feat. custom quartz countertops, gorgeous millwork, high-end appliances, inc. a panel fridge, double wall oven, & 2 pot fillers (coffee & stove). New flooring & paint throughout, plus new furnace & A/C. Large, private backyard oasis boasting an outdoor cedar kitchen, gas BBQ, custom pergola, & heated 12x24 pool w/custom deck. This home offers the perfect blend of style, comfort, & functionality

29-8217

New Listing

3 | 3 | 1,529 sq ft |

Gorgeous 6 yr old CORNER home w/ROOFTOP DECK & MOUNTAIN VIEWS in Willoughby Heights Everly Green! Bright open floor plan on the main featuring a beautiful kitchen w/white cabinetry, quartz countertops, s/s appliances inc gas range, eating area, pantry, & access to the oversized deck perfect for your BBQ! BONUS recroom/possible 4th bdrm on the lower level. The HUGE yet PRIVATE rooftop deck is an entertainer’s dream, & features water & gas! Carport, garage, & visitor parking next to the unit. Remaining new home warranty, steps from schools, shops, parks & entertainment!

July27,2023 The Delta Optimist A39
8158 113B Street - North Delta Sold in 7 days! 4980 1 Avenue - Tsawwassen Sold in 2 days! 5459 49A Avenue - Ladner Sold for over asking in 7 days! C301 4831 53 Street - Ladner Sold to our happy buyer! 204B Street - Langley $929,000 Marketed by RE/MAX Andrew Hasman
A40 The Delta Optimist July27,2023 604.312.7621 Sold@TrishaMurphy.ca TOP1% OF 2022 GREATER VANCOUVER REALTORS® 15 YEARS • SUCCESSFULLY SELLING SOUTH DELTA REAL ESTATE • Sutton Group - Seafair Realty: #2-1359 56 Street, Tsawwassen, BC V4L 2P3 Lulu Godin Licensed Realtor & Marketing Speciaalist DynamicMarketing•ExpertContractKnowledge ExperiencedNegotiatingSkills 304-117255thStreet $639,000 1576PineSpringsLane $1,699,000 601-5011TsawwassenSprings $1,218,000 878PacificDrive $2,499,000 5157KilkennyDrive $1,749,000 4533WRiverRoad $1,299,000 Thisisauniqueonceina lifetimeopportunityforan ownerand/orinvestor 4721BlueHeronWay$1,495,000 5451GroveAvenue $1,395,000 1124SkanaDrive $1,575,000 23766AStreet $1,998,000 1178WalaleeDrive $1,549,000 6003KirkwoodRoad$1,489,000 54666AAvenue $1,299,000 313-1350ViewCrescent $685,000 2bedroomwithlargepatioon thegolfcourse. 5129WilsonDrive $2,725,000 Newcustom-builtexecutive,luxury entertainmenthomeinprimeTsawwassenlocationwithoutGST! 486TsawwassenBeachRoad $3,980,000 Over13,000sq.ft oceanfrontlot withcustombuiltexecutivehome withtriplecargarage. 5717TimbervalleyRoad $1,595,000 3bedroomrancherwithopenplan onagorgeousgardenlot. NEWPRICE 828PacificDrive $1,698,000 4BedroomRancherinthevillage onagorgeous9976sqftwestfacing lotwithpoolandentertainingback garden. Luxury Home 209-555513AAvenue $849,000 2bedroomwithpatio.Walk outtotheparkandviewsof waterfeature.
NEWPRICE NEWPRICE
JUSTLISTED
July27,2023 The Delta Optimist A41 Sutton Group - Seafair Realty - Unit 2 1359 56 Street, Tsawwassen, BC THINKING OF A MOVE??? CALL US!!! SERVICE THAT WILL MOVE YOU!!! 11-6105 River Road, Ladner 310-15300 17 Ave, S. Surrey 4719 48B St, Ladner 1112 Skana Drive, Tsaw Listed by ReMax City Realty SOLD!!! SOLD!!! 194 53 Street, Tsawwassen • $1,650,000 PEBBLE HILL - bright & spacious 3 bed & den 2362 sq ft home on private, sunny & beautifully landscaped 7589 sq ft lot in unbeatable QUIET location - steps to PH Elementary & Diefenbaker Park! Ideal floor plan with kitchen & eating area opening to gorgeous back patio & gardens - great outdoor living & entertaining space! Loads of storage & space for home office & gym in this ‘move in ready’ home! NEW LISTING 302-1704 56 Street, Tsaw SOLD!!! Listed by Oakwyn Realty Ltd IT’S A GREAT TIME TO SELL!!! CALL US FOR FREE (NO OBLIGATION) MARKET EVALUATION!!! SOLD!!! SOLD!!! www.matsonrealestate.ca JUST SOLD!!! 211-4977 Springs Blvd, Tsaw SOLD!!! 213-1738 55A Street, Tsawwassen • $945,000 END UNIT at City Homes - bright & spacious 3 bed 3 bath 1449 sq ft townhome featuring open plan, beautiful H/W flooring, gourmet’s kitchen & TWO private decks to enjoy the sunshine all day! Situated in best location in well run complex, walking distance to schools, beach, town center & transit. Includes 2 parking, pets (2) OK, rentals (6 mo min.) OK. NEW LISTING 120-1840 160 Street, South Surrey • $238,800 BREAKAWAY BAYS - updated 2 bed manufactured home in QUIET & desirable park & location. Private & spacious covered deck & low maintenance yard are great outdoor living space! Monthly pad rental includes outdoor pool, clubhouse & fitness room. No age restrictions & pets welcome. Mins to White Rock shops & beach! QUIET PARK LIVING 404-1300 Hunter Road, Tsawwassen • $998,000 HUNTER GREEN - bright & spacious 2 bed & den 1574 sq ft PENTHOUSE CONDO on quiet court! Kitchen with white shaker cabinets, quartz counters & entertainers’ island has sliders to private deck. Ideal floor plan with generous room sizes to fit house sized furniture. Includes 2 side by side parking stalls & storage locker Walk to coffee shops, town center, medical, transit, golf course, dyke trails & beach! PRICE REDUCED

On The Course II - by Dawson Sawyer located in the popular Summerfield neighbourhood, South Surrey. This large 1569 SF END UNIT with 4 bedrooms, 3 full bathrooms, a full side by side double wide garage, and side by side parking on the driveway. The tranquil townhouse complex is located next to the Peace Portal Golf Course. Open concept living space, 9ʼ ceilings on the main, white cabinetry, espresso colour flooring, quartz counters, gas range, stainless steel appliances, and large eating bar area. Large patio off the living room, large fenced front yard, natural gas barbeque hookup Upstairs 3 bedrooms, laundry, two bathrooms both with quartz counters On the lower floor, foyer & fourth bedroom, full bathroom, lots of natural light. Rentals allowed, 2 pets allowed

A42 The Delta Optimist July27,2023 5092B BENTLEY DRIVE • 3281 SQ. FT FAMILY FRIENDLY HOME • OVER 7700 SQ. FT PRIVATE LOT • 216 SQ. FT DETACHED HOME OFFICE • 1 BEDROOM LEGAL RENTAL SUITE • ALL BEDROOMS WITH ENSUITE BATH • SOUGHT AFTER CENTRAL WEST LADNER LOC. 5529 MAPLE CRESCENT • RARE OPPORTUNITY TO OWN A FULL DUPLEX • LARGE 90 X 100 LOT WITH POTENTIAL FOR SUBDIVISION • PRIVATE BACK YARD OFFERS COVERED DECKS FOR ENTERTAINING • OFFERS 4 BEDROOMS, FAMILY ROOMS & 2 BATHS ON EACH SIDE • NEWER ROOF, DRIVEWAY AND OTHER UPDATES SIDE BY SIDE DUPLEX 4903A 53 ST - NEW COACH HOMES • 4/5 BEDROOM + DEN & FAMILY ROOM-MAIN HOUSE • SEPERATE 1 BEDROOM COACH HOME WITH LAUNDRY • QUAILTY BUILDER WITH 2-5-10 NEW HOME WARRANTY • CONVENIENT CENTRAL LADNER VILLAGE LOC • PRICED TO SELL AT $1,889,900 $1,889,900 5094B BENTLEY DRIVE • LUXURY BUILT 5 BEDROOM & 5 BATH QUALITY FAMILY HOME • OPEN PLAN WITH ACCORDIAN 12 FT DOORS LEADING TO BACKYARD. • BONUS 3RD FLOOR OFFERS HUGE RECREATION ROOM WITH FULL BATH • COVERED PATIO & 2ND FLOOR SUNDECK OFFERS GAS OUTLETS • FULLY LOADED WITH A/C, HRV IRRIGATION & SECURITY SYSTEMS • REPUTABLE BUILDER OFFERING 2-5-10 NEW HOME WARRANTY 4729 64 STREET • CALLING INVESTORS AND BUILDERS LOOKING FOR OPPORTUNITY • LARGE 80 FOOT FRONTAGE LOT WITH SUBDIVISION POTENTIAL • LARGE RENOVATED HOME OFFERING 7 BEDROOMS & 3 BATHS • LOWER LEVEL OFFERS RENTAL & HOME BUSINESS POTENTIAL • GREAT LOCATION NEAR HOLLY SCHOOL & EASY HIGHWAY ACCESS • LOADS OF ONSITE PARKING AND ROOM FOR YOUR RV/BOAT 721 56 STREET • 4 BEDROOMS AND 2 FULL BATHS. • BASEMENT RENTAL SUITE POTENTIAL • LARGE SQUARE 7500 SQ.FT PRIVATE LOT • WALKING DISTANCE TO BOTH SCHOOL LEVELS • UPDATED FLOORING, BATHROOM, FURNACE & HW TANK $1,299,900 SUBDIVISION POTENTIAL OPEN SATURDAY 2-4PM 5094A BENTLEY DRIVE • METICULOUSLY DESIGNED 5 BEDROOMS & 5 BATH FAMILY HOME • 3RD STORY OFFERS RECREATION ROOM WITH FULL BATH • MAIN FLOOR OFFERS A BEDROOM WITH FULL BATHROOM • OFFERING A/C, HRV, 4 CAMERA SURVEILLANCE, & EV CHARGER • GOURMET KITCHEN WITH FISHER PAYKEL APPLIANCES • SOUGHT AFTER BENTLEY DRIVE LOCATION CLOSE TO EVERYTHING $2,288,888 $2,148,888 4950 59A STREET • SPACIOUS 2-LEVEL: 4 BEDROOMS & 3 BATHS • 1 BEDROOM INLAW ACCOMMODATIONS • OFFERS 2564 SQUARE FEET OF LIVING • PRIVATE 7500 SQ FT LOT (75 X 100) • PRIMARY BEDROOM WITH ENSUITE BATH $1,199,900 OPEN SUNDAY 2-4PM OPEN SUNDAY 2-4PM 1752 Beach Grove Road 5466 8A Avenue 1666 Beach Grove Road 237 Morningside Drive Allen Schwabe 604-644-5664 seafair.com 1625 56th Street, Tsawwassen 604-943-3110 #3-5260 Ferry Road JUSTSOLD
171 Street,
• $1,025,000
6-277
Surrey

$1,279,900

778-863-6805

mandip@sutton.com

mandipgill.com

Sutton Group - Sutton Seafair Realty 100 - 5000 Bridge Street Delta, BC, V4K 2K4

$2,449,900

This charming cape cod style residence boasts 4 spacious bedrooms, 2 bathrooms, and a serene ambiance. The kitchen is a chef’s delight, showcasing cherry wood cabinets, exquisite granite countertops, and stainless steel appliances. Cozy up in the invi ng living room by the gas fireplace, crea ng the perfect atmosphere for relaxa on. Step into the backyard oasis, complete with a picturesque pond and an array of beau ful flowers and greenery, providing a private retreat.

Absolutely stunning brand new family home with serene farmland views located on rarerly available and highly sought-a�er Whitworth Cres! This home boasts3,700sq�oflivingspacewith4beds,6baths, a spacious open concept and a beau ful kitchen!

$3,209,900

This stunning 3 bed plus den, 4 bath, 3400sq� home boasts breathtaking 180 degree views! Impeccably designed by Sarah Gallop Design, the open-concept living space is an entertainers dream complete with a Havan Award winning kitchen, spa-like ensuite and luxurious finishings throughout. This home blends luxury, func onality & stunning views into one!

Easy highway access too! Live the life you’ve always wanted!

JUST LISTED @ $2,799,000

July27,2023 The Delta Optimist A43 401-5099 SPRINGS BLVD Tsawwassen $689,000 WelcometothebeautifulandsoughtafterTSAWWASSEN SPRINGS! This one bedroom plus den, south facing, penthouse condo offers 9’ and vaulted ceilings and plenty of natural light. You will find luxurious and stylish details throughout including a custom California Closet, California shutters, granite countertops, Fisher & Paykel appliances, Miele washer and dryer, geothermal heating and cooling and much more. Other features include: large patio complete with gas hookup, new paint and carpet, 2 parking stalls, in-suite storage, golf course views, close to shops, golf course and pro-shop, coffee shops, Pat Quinn’s Restaurant and fitness and wellness studio. 604.250.6981 INFO@KENDALLAYRES.COM KENDALLAYRES.COM Sutton Group - Seafair Realty 100-5000 Bridge Street, Delta, BC 04 250 6981 201-4768 53RD STREET Ladner $619,900 Welcome to Sunningdale! This bright corner unit is a delight offering 2 bedrooms 2 bathrooms and a spacious living room with extra windows and light Other features include new pain throughout new dishwasher engineered hardwood through the main living area and new carpet in the primary bedroom One storage locker one parking, rental and pet friendly building, guest suite, fitness centre and domestic gas and hot water are included in the maintenance fee Located in the heart of Ladner’s conveniences including grocery stores restaurants coffee shops, markets, schools transit recreation and more Quick possession available JUSTSOLD JUSTSOLD S E R V I N G A L L Y O U R R E A L E S T A S S C 9 8 y T E ea a Re N E E D I N E 1 4 604.946.1255 BarryChreptyk.com Barry Chreptyk Sutton Group Seafair Realty #100-5000 Bridge Street, Ladner, BC V4K 2K4 604.946.1255 BarryChreptyk.com barryrc@uniserve.com An independent Member Broker ea a Re t “WHITE ROCK” “EAST BEACH - OCEAN VIEW! Only 5 years old Spectacular custom built modern 4000 sq ft home Legal 2 bedroom suite. Elevator, air conditioning & a 18’x36’ rooftop deck! Best place to entertain and enjoy the 360° view! High quality details throughout… Must be seen to be appreciated Just a short walk to the beach, restaurants and all amenities…
5190 Whitworth Cres S, Ladner 4713 46 Avenue, Ladner SCAN ME 1102 Shaman Cres, Tsawwassen SCAN ME SCAN ME NEW PRICE

$649,000

208-4728 53 Street | BRIGHT CORNER

UNIT! This is absolutely a must to see Spacious 2 bedroom, 2 bath condo located in desirable Sunningdale I Full size white kitchen with stainless steel appliances and window above sink

The open concept living/dining room has a cozy gas fireplace and opens onto a lovely patio overlooking the courtyard Generous primary bedroom that can comfortably fit a King size bed along with an ensuite bathroom Other comfort features include new flooring, 9’ ceiling with large windows providing a ton of natural light, 1 parking and 1 storage locker This home is movein ready! Quiet location yet within walking distance to transit, shops, village and recreation!

27-5510 Admiral Way | Welcome to Polygon s Charterhouse! Executive style 4 bedroom 4 bathroom 1919 square foot home with quality finishes and craftsmanship throughout Offering a gourmet kitchen with an abundance of storage, a large island, gas range and integrated fridge This unit boasts high ceilings, a fantastic floorplan, powder room on the main and 4th bedroom with full bathroom downstairs Upstairs includes the primary bedroom with large walk in closet and spa like ensuite

Perfect for entertaining with a private yard and patio! Bonus double car garage

A riverside family oriented community just steps to trails, golf course, marina and Neilson Grove School Enjoy exclusive access to The Hampton Club featuring over 12000 SF of resort-style amenities including outdoor pool, hot tub, gymnasium, exercise facilities, guest suites and Club House $1,149,000

A44 The Delta Optimist July27,2023 KELLY ALBUS ELLY Working to bring you home 778 386 1423 kelly@sutton com realestatewithkelly com Sutton Group Seafair Realty 1244 Beach Grove Rd Tsawwassen 5321 Upland Drive Tsawwassen 5937 165 Street Surrey 6748 Corbould Road Tsawwassen SOLD 1654 Braid Road Tsawwassen 1539 Beach Grove Rd Tsawwassen Listed by Royal LePage Regency Realty SOLD SOLD 5368 4A Avenue Tsawwassen Listed by Sutton Group Seafair Realty SOLD JUSTSOLD 103-4747 54A Street Ladner Listed by Youlive Realty SOLD SOLD SOLD 206-4977 Springs Boulevard Tsawwassen Listed by Royal LePage Regency Realty SOLD NEW LISTING • 3 bedrooms, 2 bathrooms • 1,528 sq ft TH with fenced yard • Open living area, kitchen with eating area • Tandem garage with storage space • Shops and amenities only mins away • Features a 5,000 sq ft clubhouse w/ gym EXCEPTIONALLY LOCATED HOME IN “TERRANE” AT 68TH & SCOTT RD #173-12040 68 Avenue, Surrey Offered at: $849,900 604.728.2845 | thefirmrealestate.ca sutton group seafair realty #100-5000 Bridge Street Delta, BC V4K 2K4 Vicky Hamilton Persona Real Estate Corporation cell 778-839-8947 � ce 604-946-1255 vicky@homeswithvicky com www homeswithvicky com MEDALLION CLUB MEMBER 5 YEARS JUST SOLD 113-4889 53 Street | EXTENSIVE UPDATES!!! This 2 bed 2 bath 1104 sq ft unit in Green Gables is move in ready! No expenses spared!! Unit offers a spacious open layout with generous sized bedrooms Entertain in stunning new kitchen complete with stone countertops, stainless steel appliances & white cabinets Primary bdrm is a generous s ze with updated ensuite complete with marble ti e while 2nd updated bathroom showcases a beautiful pebble shower Enjoy cozy nights in the living room with the modern ledgestone gas fireplace or peaceful summer nights in the 400sq ft fenced patio/yard, surrounded by the beautifully designed flower garden Perfect for those that love to BBQ/garden or those who have pets-1 dog & 1cat a lowed The complex has undergone rainscreen (2014) and new windows Sought out complex within walking distance to shops, schools & transit $689,000 NEW PRICE
JUST SOLD 1606-121 Tenth Street, New Westminster | A bright remodelled lobby welcomes you into this friendly building to whisk you up to th s bright corner su te with an exceptiona view overlooking a community garden park and tennis court Tile floors at the entry meet carpet running through-out the living & d ning room Br ght cabinets wrap around the kitchen & pass through to the d ning room The primary bedroom has a remodel ed ensuite and the second bedroom opens up to the balcony and s ts next to the renovated ful main bathroom Both bedrooms share a bright Northwest exposure along with the balcony that looks towards Burnaby and the Fraser R ver A full laundry room w th insuite storage rounds out this spac ous suite A renovated gym upgraded plumbing & boiler, newer roof, secure res dence & visitor parking add to the appeal of th s Bosa built Vista Royale Only minutes away from New West Skytrain station, Landmark theatres, grocery shopping, Starbucks Oxygen Yoga restaurants & banking Sorry no pets allowed $600,000 NEW LISTING

Your Community

MARKETPLACE

REMEMBRANCES

COMMUNITY

ANNOUNCEMENTS

With heavy hearts we announce the passing of Gregg Burhoe, peacefuly in the early morning hours of July 25, 2023 in Tsawwassen, BC

Gregg is survived by his oving wfe of 56 years, Sharon, his two sons Scott (Dense) and Wayne (Kathy), grandchildren Jackson, Cooper and Ta, and sister Janet

Gregg and Sharon moved to Tsawwassen in 1967 with Gregg spendng much of hs career teaching Math, Sciences, and Stagecraft at Deta Secondary Schoo

With a love of the theatre, Gregg was instrumental in the founding of DSS’s Geness Studio n 1975, and later in the creaton of the Geness Theatre He spent countless afternoons, evenings and weekends working on various school productions throughout his career at DSS

As an extremely organized and avid traveler, Gregg would meticulously pan famiy summer vacations, which often included custom buidng his own luggage and camping storage for tenting trps across Europe and parts of Asa Gregg was aways on the go, never putting his feet up and rarely spending more than a nght in one place, whie ensuring family visits to every cathedral, castle, theatre, fountain, monument, hstorical ste and genera oddity possible

Gregg and Sharon’s passion for travel continued throughout their retrement, wth many more traves in Europe, Chna, South America, Egypt, Vietnam, Cambodia and beyond

Gregg was a lfelong member of the Anglcan Church and one tme presdent of the Anglcan Young Peopes Assocation of Canada

Our sincere thanks to KinVilage for their excellent care of Gregg over the past year

Gregg’s funera Servce wil be hed at St David’s Angican Church, in Tsawwassen, at a later date to be announced

A lovng husband, brother and father, Gregg with be sorely missed

Call or email to place your ad, Monday through Friday 8:30am to 4:30pm 604-362-0586 • 604-653-7851

dtjames@glaciermedia.ca • nmather@glaciermedia.ca

Book your ad on ne anytime at delta-optimist.adperfect.com

OBITUARIES

WEAVER, Raynard Reginald 1926 - 2023

Ray flew home on June 25, 2023 at 9:03 am He left us in hs 97th year, at the Whte Rock Senor’s Centre We wish to thank Ray’s dementa care team for their kind attenton and care Ray was wel loved by al

Born September 28 n New Westminster, BC, he grew up and farmed along sde his father untl he started his own successfu dairy farm on Matthew’s Road (96th Street) in East Deta, BC

Predeceased by his parents, Albert and Eieen Weaver (née Gregory), his brother Delbert, ssters, Nonie and Beverly, and son-n-aw, Rchard Johnson, and former wfe, Helen He s survived by Joyce, his companion of 42 years, and by his children Albert (Doreen), Carol (Joanie), Marion (Tim); grandchidren Christopher, Sean (Alson), Kelsey (Chris), Cody (Brooklyn), and great grandchildren Evelina, Annka, Payton, Quinn, Onyx and Sage

Ray was a born farmer and loved beng on the land His dad taught hm wel and Ray continued the famiy tradition He was an award-wnnng daryman, known for tending to a high-producng mlk herd of Holsten cattle In 1973, a devastatng barn fire forced hm to auction off hs beloved herd of 40 cows He contnued crop farming with his son, focusing on many variety of potatoes

During retirement, Ray enoyed travelng al over the country with Joyce in his prized motorhome Hs bggest passon was flying and he learned at a young age from wel-known flight nstructor, Art Selars Ray especaly adored his WWII Harvard pane and flew as often as he coud Most folk flew wth Ray ony once, as he loved to fly fast and furious Ray aso oved recevng fresh flowers, enoyed fine food, was a snappy dresser, was quite the ham and loved to dance He ived a good long life, loved his famiy, always worked hard and enoyed many successes

We wil miss you very much dear Ray

Soar as high as you can, you certainly picked a stunnng, cear day to fly Unti we meet again, we love you!

The famiy s hodng a prvate ceebration of Ray’s life

July27,2023 The Delta Optimist A45 continued on next page
OBITUARIES Fond memories linger everyday, Remembrance keeps themnear.
BURHOE, Arnott Gregg (Gregg) November 18, 1940 - July 25, 2023
Crematorium & Celebration Centre Ltd.
COST Cremation Packages Available. URN’s starting at Arrangements made in the comfort or your home, our office, by email or fax for your convenience. No pressure sales or commission.
only provides what you ask for We are here to help every step of the way www.bakerviewcrematorium.com Call: 604-574-8822 Email: Bakerview@telus.net Head Office 34863 Cemetery Avenue, Mission, BC Commun ty Crematorium & Celebration Centre Ltd $99 Ladner Glee Club Women’s Choir HIRING NOW Director and Accompanist Startng in September, Monday Mornings Remuneration offered To inquire - call Mavis 604-948-6955
REMEMBRANCES
LOW
Bakerview
classifieds.delta-optimist.com
Lost? Found~ in the Classifieds! Celebrate the lives of loved ones with your stories, photographs & tributes at legacy.com/obituaries/deltaoptimist

REMEMBRANCES

Obituaries

EMPLOYMENT

GENERAL EMPLOYMENT

Millennium Pacific Greenhouses

ARE YOU THE NEXT MEMBER OF OUR FULL TIME LABOURER TEAM?

Fu t me pos t on w l run now through somet me in January 2024 –December 2024 Pay rate $16 75 Daysh ft 40-45 hours per week and usual y weekends Flex b lity is a must

Successful candidates:

• Thrive in a fast paced cold and very humid environment such as cleaning, heat stand and power washing.

• Maintenance works, picking, pruning, loading of fruit onto a cart, packaging on hot house and other greenhouse operation.

• Must be able to stand or walk all day on a plastic liners and concrete.

TAMBOLINE, Richard D. December 29, 1931 June 29, 2023

Richard Desmond Tamboline was born December 29, 1931, in the MSA hospital, Abbotsford, BC, and died peacefully, after a short illness, at Saanich Peninsula Hospital, exactly 91 years and 6 months later, on June 29, 2023. Rich was a very learned, conscientious man who had a strong sense of responsibility and civic duty, yet he rarely missed an opportunity to enjoy time with friends and family His deep need to understand how the world around him worked drove him to learn all he could about wherever he happened to be and whatever he happened to be doing. His uncanny ability to retain facts long after he had read them and his willingness to discourse at great length on many subjects has granted him legendary status within his family and beyond.

The third child of George and Ida Tamboline, Rich’s first 3 years were on Sumas Prairie, but after losing everything to the Great Depression, the family moved back home to Ladner, BC. In that rural environment, along with his sisters, brothers, and multiple cousins, he learned the value of community and a responsibility to others that came to define his personality.

Anyone who knew him knew that the guiding light of Rich’s life was his beloved Doreen. They met in high school and married in 1951. Rich completed his schooling and articled to become a chartered accountant while Doreen worked on raising their young family. Rich had a bit of a restless soul, and his willingness to explore the boundaries of his profession took him and his young family all over Canada. Living in Vancouver, Kitimat, Montreal, back to Tsawwassen and finally up to Faro, Yukon, they explored everything that each area had to offer.

Rich retired from the corporate world upon leaving Faro in 1976. He and Doreen settled on Mayne Island, developing MI Shadwell Farm for the next 39 years. In a true labour of love, at 45 years of age, the two embraced homesteading life. Living without indoor plumbing initially, heating with a wood stove (for all 39 years!), renovating an antique house, building gardens and outbuildings, and raising sheep and chickens, they provided a respite from the modern world and a safe haven for family and friends from near and far. On Mayne, Rich became the ’backhoe guy,’ he was self taught and expert, using it on the farm and doing digging jobs for locals with the help of his son, Rob. Richard was a well respected, much loved man who found great joy in being with his family and friends. As he moves on to be with his lifelong love, Doreen, he will be remembered for his vast knowledge, fascination with the world at hand, and willingness to share his knowledge and talents. Rich will be sadly missed by his children Brian (Elaine), Colin (Joyce), Rob (Anne), and Irene; sister Joan; brother Norman (Pat); brother in law Jack Froud; his nine living grandchildren; six great grandchildren; and many nieces and nephews.

classifieds delta-optimist com

• classifieds delta-optimist com

• Must be able to perform moderately strenuous physical labour, packaging, grading line and cleaning.

• Must comply with the hygiene requirements from Food Safe and WorkSafe BC safety

Address: 3752 Arthur Drive, Delta V4K 3N2 email: hiring@millenniumpacific.com

WAREHOUSE ASSOCIATES

We have an exciting opportunity for Warehouse Associates to join our Tidewater team, reporting to the Superintendent. The successful candidates must be enthusiastic and motivated self-starters able to work with minima supervision. Performing a full range of warehouse functions related to the movement and handling of all forms of cargo and other goods associated with transloading, warehousing and the examination of containerized cargo The work involves assisting CBSA staff in the movement and handling of containerized cargo for examination, and the trans-loading of cargo between containers and other forms of transport

Job Duties

• Proven warehouse experience with an understanding of warehouse workflow/ procedures/ safety protocols

• Experience handling freight to/from shipping containers

• Ability and/or willingness to operate forklifts, pallet jacks and warehouse equipment

• Loading & unloading of up to 50 pound boxes

• Maintaining cleanliness of warehouse and yard

Qualifications

• Ability to lift up to 50 lbs

• Ability to work in a fast paced environment

• Fork lift experience would be an asset

• Successfully pass the CBSA Background

Clearance

• Successfully pass pre-employment physica demands analysis

• Previous warehouse and customer service experience would be an asset

Training Provided

• Dangerous Goods training

• WHMIS

• Forklift training

Full-Time Monday to Friday 6:30am to 3:00pm or 2:30pm to 11:00pm

Located at 2929 41B Street, Delta

Starting rate of $26.75/hr and increase to $29.96/hr after completion of probation

Tdewater w shes to thank a l app icants; however on y shortl sted candidates w l be contacted The above statements are intended to provide a genera gu del ne of activit es, dut es and respons b l ties required of Warehouse Assoc ates It s not ntended to be an exhaust ve l st of al responsibi it es Tidewater is an equa opportunity employer

SUDOKU

Sudoku puzzles are formatted as a 9x9 grid, broken into nine 3x3 boxes. To solve a Sudoku, the numbers 1 through 9 must fill each row, column and box. Each number can appear only once in each row, column and box. You can figure out the order in which the numbers will appear by using the numeric clues already provided in the boxes.

PUZZLE

ON SEPARATE PAGE

47

49

50 Icelandicpoems

52

55

57 Expressionof annoyance

59 Spumante(Italian wine)

62 Consumed

63 Bodypart

66 Thus

68 Inreply(abbr)

A46 The Delta Optimist July27,2023
ANSWERS
1 Bonusmaterials 7 Formalnames 13 Freefromrestraints 14 Onewhoscrapes away 16 Typeofdevice 17 Skincancers 19 TheShowMeState 20 Plateglasses 22 Red-brownseabream 23 Small(Fr) 25 FlightlessAustralian birds 26 HighIQgroup 28 Stiffstructures 29 Revolutionsper minute 30 Whereabachelor lives 31 LicensedforWall Street 33 Aplacetopark 34 Energy,styleand enthusiasm 36 Animportantcreed inCatholicChurch 38 18-yearastronomical period 40 Furies 41 Removesfromthe record 43 Notedchildpsychiatrist 44 Feline 45 Highschoolers’test 47 Nothappy 48 They 51 Ontop 53 Preciousstonesunit ofweight 55 Movedquickly 56 Seagulls 58 Aseedwithhooks orteeth 59 Partnerto“oohed” 60 Exclamationof surprise 61 Mostunpleasant 64 Organizationhelp servicemembers 65 Typeofcockatoo 67 Humorouscriticisms 69 Wentthroughand organized 70 Wakesup 1 Settleintents 2 Big 3 Books 4 Massesofeggsinfish 5 Language 6 Notstanding 7 Chinesephilosophy 8 Computergiant 9 Adevicetocatch 10 Emitscoherent radiation 11 ActorO’Neill 12 Smallestintervalin westernmusic 13 Notlower 15 Revolves 18 Leavenedbread 21 Numberabovethe lineinafraction 24 Cable 26 Adultmale 27 Airborne(abbr 30 Bullfighting maneuvers 32 Broadcast 35 Angeles 37 Vehicle 38 Notreligious 39 NorthAmerican peoples 42 Abaglikestructure 43 Bodyart(slang) 46 Pickedforarole
ActressTomei
Formerhoopster“Big Country”
Morepleasant
54 Itcanaddflavorto meat
Self-immolationby firerituals
DOWN ACROSS

GENERAL EMPLOYMENT

Millennium Pacific Greenhouses is looking for a Sales Administrator to join our team!

As a small company we wear mutipe hats to get the ob done! Our idea canddate would be someone who s energetc, ready to learn and passionate about produce

Job Description:

• Processng orders via ema or phone

• Check accuracy of orders and prcing on invoices

• Contact a customers to obtain any mssng nformaton or answer questions, nquires and trouble shoot problems

• Arrange transportation wth our preferred carrer partners

• Ensure tmely deliveries, secure trucks and meet customer deadlines

• Mantan and update a sales and customer records

• Develop saes reports (weeky/monthy)

• Report any ssues or losses to supervisor

• Track progress against goas and report to supervisor

• Act as a iason between saes and accountng to ensure al Accounts Payabe and Accounts Recevable are beng executed to terms

• Input al sales into quck books

• Work wth accounting team to resolve any issues

• Hande all credit memo’s and communicate to accountng team

• “Exhbt strong ethcs and vaues such as honesty, ntegrty and respect for your coworkers

• “Be prepared to take on any new duties as needed

Requirements:

• “Excelent computer sk ls, Experence wth Mcrosoft office applicatons, Exce Sheets

• Excelent communcaton organzaton anaytca skils

• Attention to deta s a must “Must be able to multitask

• “Abilty to work n hgh pressure environments

• “Abilty to cimb, ft and wak as needed nsde and outsde of the packhouse

• “Ava able to answer emails and cals n evenng or on weekends “Ab ty to work extended, irreguar hours, ho days and weekends Ab ity to work in the evenngs when required to compete packhouse checks

• “Abilty to communcate wth customers in a calm and professiona manner

Compliance: t is expected that you wil observe the company rues and polices, as we as, any requirement form externa authortes at al tmes

Flexibility: It is expected that you w be abe to work to the company needs Manage tme, activties, and schedue to ensure that persona matters do not affect work performance

Team P ayer: Inspre other to work, set an example, motivate teammates and contnua y ook to improve the overall team

Job Types: Fu -tme, Permanent

Salary: $50,000 00-$55,000 00 per year Bonuses aval

Benefits: Denta care, Extended health care, parkng

Schedu e: 8 hour shft, day shift, Mon-Fri; mornng shift, on call, overtime, weekends as needed

Ability to commute/relocate:

Deta, BC V4K 3N2: relably commute or pan to reocate before startng work (requred)

Education: Bacheor’s Degree (preferred)

Exper ence: Front desk: 1 year (preferred)

Adm nistrative experience: 1 year (preferred)

Language: Eng sh (preferred)

Applicat on deadline: 2023-08-15

Expected start date: 2023-08-16

Please email resume to con@millenniumpacific.com

3752 Arthur Drive, Delta B C V4K 3N2 www.millenniumpacific.com

oFFice/clerical

Parish Office Administrator

St David’s Anglican Church, Tsawwassen, requires a Part-time Office Administrator Canddates must have strong communicaton ski s and be highly organsed

The postion is 16 hours per week, Tuesday to Friday

Closng date for applcations: August 31, 2023

Start date: November 1, 2023

For detailed information and to submit resumes, please contact Jocelyne Walter at jdwalter@dccnet.com

general employment

FARM LABOURERS

Brar Bros Farms

3585 184 St Surrey, BC

Required for weeding, planting, harvestng & grading vegetables Ths ob invoves hard work; bending, liftng, crouching No experence requred $16 75/hour, 45+ hr/wk, 6 days/wk

2 year term; Nov 2023 - June 2025

Fx: 604-576-8945, or ema : TJ@brarbrosfarm com

FARM LABOURERS

Brar Bros Farms

Required for weeding, planting, harvestng & grading vegetables Ths ob invoves hard work; bending, liftng, standng & crouchng

$16 75/hour, 45+ hr/wk, 6 days/wk,

Nov 2023 to June 2024

Fx: 604-576-8945, or ema : TJ@brarbrosfarm com

BUSINESS SERVICES

computer/ internet

IT TECHNICIAN

¾ Wifi issues solution

¾ Maintenance: laptop and desktop

¾ Software installation

¾ Technical support

¾

PETS

pets

DOWNSIZING SALE

Saturday Ony

Juy 29th • 7am - 4pm

5092 Bentley Drive

LADNER

Antques, Puzzes, Crysta, Patters, Furnture, Tools, & MUCH MORE

DOG WALKER and SITTER

7 days/wk

Dog Wakng Certficate and Pet Frst Ad course can work with aggressve’s Ref’s ava ns’d, bonded Joe, 778-325-3659 Joeysdogwalkng com

YARD SALE

Saturday

July 29th • 9am-3pm 4603 (Unit #124) Evergreen Lane, LADNER Lots of Everything Don’t mss ths!

July27,2023 The Delta Optimist A47
GARAGE SALES EMPLOYMENT classifieds.delta-optimist.com • classifieds.delta-optimist.com classifieds.delta-optimist.com classifieds delta-optimist com Place Your Ad Today! 604-362-0586 LOOK to Home e Services in the c assifieds Need a Painter?
¾ Analogic and digital systems
Free Estimate MARCIA: 604-716-8631
estate services We Buy Homes since 2003 Any Condition! Any Situation! Call Today! 604-626-9647 www webuyhomesbc com A BBB Accredited Busness REAL ESTATE property For sale 9 Building Lots Surrey 604-761-6935 RENTAL apartments/ conDos For rent Choose your Apartment Rental from one of our well maintained and managed buildings in South Delta: Rental Office 604.948.9111 Inquire about some of our Pet Friendly buildings Please visit our website for availability: barbicanpm.ca Sorry, no BBQs perm tted Reference required. ----------------------------------A Division of Century Group CALL Today for Summer DISCOUNTS! GUTTERS • REPLACEMENTS • DOWNPIPE • LEAF GUARD • DRAIN GUARD • SIDING Commercial & Residential. Free Estimates. Gutter Specialists Licensed WCB Insured 604-724-5493 • 604-721-0372 • a1guttersltd@gmail com RENTAL Houses For rent Tsawwassen, English Bluff, Newly reno’d UPPER 3 BR, 2 bath, 5 apps, own aundry, shared garage/prkg NS/NP Avai now $3500 + utls 778-926-8080 or 604-790-5556 storage U STORE ITU LOCK IT 3 Sef Storage Buildngs n Tsawwassen to serve you Various sizes ava able Contact us at: 604-424-9977 Storage@BarbicanPM ca For more details v sit: BarbicanPM ca/Storage HOME SERVICES cleaning Residential Clean ng Service Week • Bi-Weekly • Monthly Move In • Move Out Sophia • 604-805-3376 www pumacleaning com SUNSHINE CLEANING “you’ve tried the rest, now try the best ” Move Ins - Move Outs, Weekly • B-Weekly • Monthy Start ng @ $120 cleanings • Window Cleaning • Work guarantee Exc refs 604-716-8631 gutters HOME SERVICES Drywall DRYWALL Reliabe Work *Res & Comm *35 Yrs Exp Mike 604-789-5268 electrical A CLASS ELECTRICIAN Licensed LEL029900 Small Jobs, Free Est All work is guaranteed 2 years. 7 days/ week 9 am - midnight Dave, 778-230-0619 YOUR ELECTRICIAN Lic#89402 Insured Guar’d Fast same day service We love BIG & small jobs! 604-568-1899 goldenleafelectrical com Fencing West Coast Cedar Installations s nce 1991 New • Repaired • Rebu t Fences & Decks 604-788-6458 (no text) cedarnstal@hotmail com Flooring Hardwood Floor Refinishing Experts • Repars • Staning • Instalation • Free Estmates 604-376-7224 centuryhardwood.com Garage Sale Season is here! it’sthat timeof year again
CCTV systems: installation and configuration
real
A48 The Delta Optimist July27,2023 HOME SERVICES classifieds.delta-optimist.com classifieds.delta-optimist.com classifieds delta-optimist com gutters BOUNDARY BAY WINDOW WASHING • Exterior house cleaning • Pressure washing • Gutters Steve Watts 604-943-4134 778-228-5639 HandyPerson • A Handyman for Sen ors • BRUCER the SPRUCER 604-946-9206 HANDYMAN • RENOVATIONS •Kitchen •Bath • Pumbng •Countertop •Floors •Pant & more Cal M C for quote: 604-725-3127 Since 1989 Celebrating 34Years! www.mrbuild.com RENOS • REPAIRS 9129 Shaughnessy St , Van 604-732-8453 HandyPerson Electrical Maintenance Hydraulic Maintenance Garage Organization Window Cleaning Floor Cleaning Reliable and Affordable! Call Marcia 604-716-8631 HANDYMAN landscaPing SHAW LANDSCAPING LTD Complete Landscaping Cean-up Lawn Cuts Shrubs & Tree Prunng 778-688-1012 laWn & garden Complete Landscaping Garden & Lawn Care • Power Rakng •Fert zer • Prunng •Trmmng • Pavers • Retanng Wals • Cedar Fenc ng & Gates Installation & Repairs 604-271-5319 778-863-5319 Compplete Lawn Care Summer Clean-up •Weedng •Trim • Pruning • Power Rake • Moss Control • Lawn Mowng sbgardeningg@hotmail ca 604-710-1348 laWn & garden • Lawn Cuts & Maintenance • Full Landscape Projects S gnature Des gn Serv ces, Ca l for a Yard Makeover! One call does it All! WCB 604-943-0043 wwwlandplusca 604 7 771.5340 g eensavegarden ng05@gmail.com Lawn Cutting Trimming & Pruning Yard Cleanup & Pressure Washing We handle Japanese Beetle Residential & Strata GREEN SAVE GARDENING & LANDSCAPING LTD. Moving ABE MOVING & Delivery & Rubbish Removal $45/hr per person 24/7 • 604-999-6020 Affordable Moving From $45/hr 1,3,5,7,10 Ton Trucks Lcensed & Insured Loca - Long Distance Free Est Senor Disc 604-537-4140 www affordab emoversbc com Painting/ WallPaPer A-100 PAINTNG SERVICES Exterior & Interior REPAINT SPECIALIST 30 Years Experience 604-723-8434 Painting/ WallPaPer BC’s BEST PAINTERS 25+ yrs exp • BBB Top Qua ty Paint & Workmanship EXTERIOR: Pa nting Experts; 15 year guarantee Inter or: 2 Coats & Repairs for $250 per room 778-545-0098 604-377-5423 m brushespaintng@gma com D & M PAINTING Exterior/Inter or Specialist Many Years Experience Fu y Insured Top Quality • Quck Work Free estmate 604-724-3832 Exterior & Interior Specialist Years of Exp Senor Disc Best Rates & Qua ity Free Est WCB Insured Ryan • 778-929-6107 EXTERIOR & INTERIOR Residential & Commercial 778-984-0666 A. RIGHTWAY PAINTING Ltd. 25 years experience Free Estimates 35%OFF SPECIAL SUMMER PAINTING DISCOUNT Fully Insured 20 yrs. exp. • Free Est. INTERIOR & EXTERIOR SPECIALS 10% OFF Call 6047291234 FAIRWAY PAINTING
July27,2023 The CALL THE EXPERTS HOME SERVICES COMMUNITY E TODAY'S PUZZLE ANSWERS classifieds delta-optimist com plumbing • Hot Water Tanks • Plumbing • Heating • Furnaces • Boilers • Drainage • Res. & Comm. • 24/7 Service 604-437-7272 properTy mainTenance Get Your Gutters Cleaned NOW 25% Off Power Washing Grass Cutting All Services 604 209 3445 www.npservices.ca renoS & home improvemenT A-1 Contracting. Bsmt, bath, kitchen cabinets, tie & lamnate flrs, pantng, decks and more Call Dhillon, 604-782-1936 renoS & home improvemenT RDM ENTERPRISES For All Your Household Additions & Renovations • • • Interior & Exteror Finishing, Fences & Decks, Ktchens & Bathrooms, Pumbing Refs Ava Free Est Local Resdent & Servng Deta for over 20 yrs Call Rob 604-830-9401 Since 1989 604-732-8453 mrbuild@mrbuild.com www mrbuild.com Need anything done or repaired?  RENOS  REPAIRS  PAINTING  TILING  DOORS  WINDOWS  DECKS  FENCES  ROOFING  GUTTERS □Renos □BathRooms □RePaIRs □PaIntInG □tILInG □DooRs □KItchens □WInDoWs □DecKs □Fences □RooFInG □GUtteRs roofing A-1 Contracting & Roofing New & Re-Roofing • Al Types All Maintenance & Repa rs GUTTER CLEANING Gutter Guard Installations • RENOVATION WORK • WCB 25% Discount • Emergency Repairs • Jag • 778-892-1530 a1kahlonconstruction ca All types Roofing & Repair WCB Liability BBB • GLRoofing ca 604-240-5362 Re-Roofing & Repairs Specialists 20 Year Labour Warranty Ava abe 604-591-3500 rubbiSh removal “You Call It, We Haul It!” ROD’S HAUL-IT-AWAY Rubbish Removal and Recycling 778-668-4285 Located n Ladner • So you pay ess • rubbiSh removal • FULL SERVICE JUNK REMOVAL & Clean-Up at Affordable Rates • Pianos & Hot Tubs No Problem • Booked Appointments • Same-Day Service • Residential & Commercial 20 YARD BIN RENTALS from $249 for a week + dump fees BRADS JUNK REMOVAL.com 604.220.JUNK (5865) 20 YARD BIN RENTALS Starting at $249 + dump fee. BRADS REMOVAL.com Starting at $249 + dump fees. 20 YARD BIN RENTALS 280 Tree ServiceS TREE SERVICES Prun ng, Hedge Trimming Tree & Stump Removal 75 ft Bucket Trucks 604-787-5915 www treeworksonline ca $50 OFF * on jobs over $1000 AUTOMOTIVE Scrap car removal VEHICLE REMOVAL CASH FOR ALL! Servng Delta & area snce 1986 Call 604-649-1627 www deltascrap ca All advertising published in this newspaper is accepted on the premise that the merchandise and services offered are accurately described and willingly sold to buyers at the advertised prices. Advertisers are aware of these conditions. Advertising that does not conform to these standards or that is deceptive or misleading, is never knowingly accepted. If any reader encounters non-compliance with these standards we ask that you inform the Publisher of this newspaper and The Advertising Standards Council of B.C. OMISSION AND ERROR: The publishers do not guarantee the insertion of a particular advertisement on a specified date, or at all, although every effort will be made to meet the wishes of the advertisers Further the publishers do not accept liability for any loss of damage caused by an error or inaccuracy in the printing of an advertisement beyond the amount paid for the space actually occupied
to that
the error
corrections on charges
be made within 30 days of the ad’s expiration. For best results please check your ad for accuracy the first day it appears. Refunds made only after 7 business days notice!
by the portion of the advertisement in which the error occurred. Any corrections of changes will be made in the next available issue. The Delta Optimist will be responsible for only one incorrect insertion with liability limited
portion of the advertisement affected by
Request for adjustments or
must
#135-7391 Vantage Way, Delta www.accessgaragedoors.ca All Garage Doors & Garage Door Motors Sales • Service • Installations 604-940-8918 604 786 7145 CallShawn B I G G E R B E T T E R G U T T E R S  Continuous 5”Gutters  Fascia  Custom Flashings  Soffit  Leaf Screen  Powerwashing  Cleaning and Repairs GUTTER BROTHERS GUTTERS gutter-brothers ca Local reliable & experienced Larry: 604 561 2856 wwwthehandyhusband ca HANDYPERSON Fencing and decking > inFO@HOMeSTeadSeRViceS.ca > WWW.HOMeSTeadSeRViceS.ca Specializing in FenceS and deckS JaSOn WellS 604 948 5296 HOMeSTead SeRViceS roofing
ADVERTISING POLICIES
A50 The Delta Optimist July27,2023

Turn static files into dynamic content formats.

Create a flipbook
Issuu converts static files into: digital portfolios, online yearbooks, online catalogs, digital photo albums and more. Sign up and create your flipbook.