Delta Optimist April 27 2023

Page 1

T H U R S D A Y | A P R I L 2 7 | 2 0 2 3 5124LadnerTrunkRoad,Delta SHOP LOCAL LADNERCENTRE THESAVE-ON-FOODSMALL Scan Me 5124 Ladner Trunk Road, Delta BC • ladnerdq LADNER, BC 604-946-8683 • DQCAKES.CA ® Buy One Get One $1.99 Coupon Offer expires May 15th , 2023 2 8 Coupon offer expires May 31st , 2023 Doubles $500 OFF Coupon Offer expires May 31st , 2023 Buy one get one Expires May 31st , 2023 Valid only at the Ladner DQ® BOGO $199 PEANUT BUTTER PARFAIT

COUNCIL CONSIDERATION OF

BYLAWS – MAY 1, 2023

Notice is hereby given that Delta City Council will consider giving first, second, and third readings to the bylaws referenced below at its Regular Meeting at 4:00 p m on Monday, May 1, 2023 in the Theatre, North Delta Centre for the Arts, 11425 84 Avenue, Delta, BC, and by electronic means asauthorizedbytheCouncilProcedureBylawNo 5000

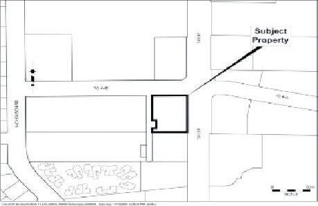
Rezoning, Development Variance Permit, and Development Permit – File No LU009094 (Bylaw No 8226)

Location:1199670Avenue Applicant:JaswinderGabri,FlatArchitectureInc

Staff Contact:AdaLiu–604-946-3395

Purpose: Application for Rezoning, Development Variance Permit, and Development Permit in order to construct (i) a six-storeymixed-used building with7768m2 ofground-levelcommercialspace,90residentialunitsontheupperfivelevelsandthreelevelsofundergroundparking,(ii)commonindoor andoutdooramenityspacesonthesecondstoreyandrooftop,and(iii)anewpublicpedestrianpathwayalongthesouthpropertyline Thisapplication isconsistentwithDelta’sOfficialCommunityPlan

Delta Zoning Bylaw No 7600, 2017, Amendment Bylaw No 8226, 2023

Toamend“DeltaZoningBylawNo 7600,2017”byrezoningthesubjectpropertyfromServiceStationCommercial(C4)toComprehensiveDevelopment ZoneNo 27(CDZ27)topermitamixed-usebuildingcomprisingofresidentialandcommercialuses.

Development Variance Permit LU009094

TovarytheScottRoadCross-SectiononDrawingNo L28inScheduleCof“DeltaSubdivisionandDevelopmentStandardsBylawNo 7162,2015”in ordertoretaintheexistingpavementwidth

Development Permit LU009094

Toregulatetheformandcharacterofamixed-useresidentialandcommercialbuildingintheScottRoadCorridor(SRC)DevelopmentPermitArea Bylaw No. 8226

FOR MORE INFORMATION REGARDING THE PROPOSED PROJECTS

Materialsrelatedtotheproposalssuchastheproposedbylaws,detailedmapsandotherinformationmaybeinspectedatDeltaCityHall,4500ClarenceTaylorCrescent,Delta,BC,MondaytoFriday,excluding statutoryholidaysfrom8:30am to4:45pm fromThursday,April20,2023toMonday,May1,2023oronlineathttps://letstalkdeltaca/lu009094

Ifyouhaveageneralinquiryregardingtheproposedbylawsorifyouwouldlikeassistancetoinspectanyrelevantdocumentation,pleasecontacttheDevelopmentDepartmentbyemailatcpd@deltaca orbyphoneat604-946-3380

Correspondence received up to 12:00 p m on Wednesday, April 26, 2023 will be included in the Agenda package Correspondence received after and up to 10:00 a m on Monday, May 1, 2023 will be provided to Council in a separate package prior to the start of the meeting

All correspondence will form part of the public record for this proposal and must include your name and full address

��������Emailmayor-council@deltaca OR

��������Writeto: MayorandCouncil CityofDelta 4500ClarenceTaylorCrescent Delta,BCV4K3E2

W2 The Delta Optimist April27,2023 Before After Recycled Rubber Paving ECO FRIENDLY NON-SLIP SURFACE UP TO 30% LESS THAN CONCRETE CALL NOW UPS PROPERTY VALUE 1-800-609-5408 www.ecopaving.com 4.8/5 Average Rating 1000’s of Jobs Driveways Apartments Patios Stairs Walkways Pool Decks Playgrounds Courtyards Congratulations to the Delta Optimist for their 100 Year Anniversary!! Are You Tired Of Your Cracked Concrete or Paving? WE ARE HERE TO HELP

FedsgivethumbsupforTerminal2project

The Roberts Bank Terminal 2 (RBT2) megaproject in Delta has been approved.

The Minister of Transport, Omar Alghabra, and Minister of Natural Resources, Jonathan Wilkinson, hosted a virtual announcement Thursday (April 20) to announce that the Vancouver Fraser Port Authority’s (VFPA) major container port expansion application has been given the green light after a “long and thorough review”

Built on a new manmade island adjacent to the current Deltaport container facility, RBT2 will provide a 50 per cent increase to the port’s container capacity, providing 2.4 million TEUs (20-foot-equiva-

lent units) of additional capacity annually

Describing the projects as “good news ” for the country, Wilkinson said that since a review panel released its findings on the application, the proponent has worked with government to include additional measures to offset and mitigate potential environmental impacts.

He noted the project has 373 legally-binding conditions including implementing measures to offset impacts to western sandpipers that rely on biofilm at the mudflats, as well as impacts to fish habitat, noise affecting resident killer whales and other concerns.

Saying they were guided by science, Wilkinson added, “Given the economic imperative of having a path forward for enhanced exports and imports from Canada’s

west coast, this decision is strongly in the interests of Canada’s future prosperity. And, given the greater resilience this port capacity would give to Canada’s supply chains, and given the enormous effort that has been undertaken to effectively mitigate the key potential impacts, environmental impacts of this project, we believe this decision is in the best interests of Canada”

Alghabra said it is in the national interest for the project to proceed, but it was a decision not taken lightly.

He also said it is an important step to ensure Canadians get their goods to market and that the economic benefits will be significant

In a statement, Delta MP Carla Qualtrough said she is confident the government considered the perspectives of the Delta com-

munity, including the Tsawwassen First Nation and Delta’s mayor and council

“In making the decision to allow the Robert Banks Terminal 2 Project to move forward, the Government of Canada considered the likely sig-

nificant environmental impacts of the project as well as economic considerations such as our national reliance on exports and trade, the need for increased container capacity on the West Coast, the need to address sup-

ply chain issues, and job creation… As the MP for Delta, I will now turn my efforts towards monitoring and ensuring compliance,” said Qualtrough

See more coverage on pages 3 to 6, page 8 and on our website.

T H U R S D A Y | A P R I L 2 7 | 2 0 2 3
5124LadnerTrunkRoad,Delta SHOP LOCAL LADNERCENTRE THESAVE-ON-FOODSMALL
FILE PHOTO On April 20, the Federal Government announced approval of the Roberts Bank Terminal 2 megaproject in Delta, located on the left of this photo.
Scan Me
A2 The Delta Optimist April27,2023 New Store Franchise Opportunity in Tsawwassen M&M Food Market Benefits: N E L I ) For more information please visit www mmfoodmarketfranchise com Whether as an all-star pro hockey player or as a busy grandfather, Darryl Sittler believes that to get the most out of life, you need to look after yourself. Get your hearing checked by a licensed hearing care professional at your local Connect Hearing clinic Don’t miss out on the sounds that you love. Check your hearing. Book your FREE* hearing test today! 1.888.850.9979 • connecthearing.ca Darryl Sittler Canadian Hockey Legend Take your best shot at better hearing! Get your hearing checked for a chance to WIN a pair of state-of-the-art Audéo Lumity™ hearing aids!** VAC, WCB WSIB, WorkSafeBC, ADP & ODSP accepted.®CAA and CAA logo trademarks owned by, and use is authorized by, the Canadian Automobile Association. CAA RewardsTM used by the Canadian Automobile Association. *Hearing evaluations/tests are free or all customers over the age of 50. Some conditions and exclusions may app y See clinic for details.†Based on national physician referrals over the tenure of the corporations Canadian business operations compared to the disclosed referral count of leading competitors ‡Save up to $2,000 on a pair of Select technology level Sonova hearing aids; 15% off Advanced level; and 10% off Standard level with a valid CAA membership This offer is a tiered rebate determined by which level of Sonova Hearing Technology purchased Offer expires September 30, 2023. Some conditions app y See clinic or details **Private client only and no purchase necessary To be eligible, appointment must be attended and a full audiogram completed Closes June 30, 2023 at 5.00p.m PT Open to residents of Canada (excluding Quebec). Enter at participating Connect Hearing clinic locations Full rules on-site and at: checkyourhearing.ca/contest-rules Three (3) prizes available consisting of two (2) hearing aids a hearing evaluation and consultation at a Connect Hearing clinic in Canada. Skill-testing question required Odds depend on the number of eligible entries Save up to $2,000 on a pair of Select level hearing aids with your BCAA membership!‡

UPFRONT

CollaborationkeytoDeltaportexpansion,saysSilvester

SANDOR GYARMATI

sgyarmati@delta-optimist com

It’s been a long road, but also a successful story of collaboration

That’s how Vancouver Fraser Port Authority (VFPA) Chair and CEO Robin Silvester describes last week’s announcement that the Roberts Bank Terminal 2 (RBT2) project has been approved.

After a lengthy and complex process that started even before the port formally submitted its application a decade ago, the federal government gave the green light for a new threeberth container terminal adjacent to the current port facility at Roberts Bank in Delta

The approval comes with a lengthy list of conditions

The port says the decision comes as Canada’s container trade remains on a long-term growth trajectory, with west coast marine container terminals forecast to hit

capacity by the mid- to late-2020s

In a follow-up interview with the Optimist this week, Silvester admitted he didn’t know at the outset just how long the review process would take, but he is nonetheless pleased with the strong collaboration, especially with Indigenous groups, which was instrumental in seeing the proposal approved

“It’s a great news story and one of the things I’m most proud of is the level of First Nations engagement throughout the process, ” said Silvester.

“If you asked me at the beginning that we’d have 26 First Nations giving consent for the project by the time of decision, I’d say I’d be delighted if we could have that level of engagement, and we did We had 26 out of 27 groups we were seeking who signed mutual benefit agreements and are going to benefit directly from the project, and will help shape the

project the way it’s delivered”

Noting the new facility could be completed by the early 2030’s, Silvester said there’s still much work ahead including various approvals to obtain and field studies ongoing

He added it will still be a story of collaboration over the next decade.

As of now, it’s expected that likely two of the three berths will begin operations when the facility opens with the third beginning sometime afterward, depending on how quickly volumes increase

According to the port, the additional container terminal capacity will strengthen national supply-chain resilience.

Silvester noted that when it comes to Japan and India alone, 20 per cent of this country’s exports to both those countries go in containers through the Port of Vancouver

“It’s a very significant

milestone for Canada and the cargo that moves in containers. It’s goods Canadians all across the

country are buying in stores and high-quality Canadian exports are going all around the

world It’s really a project that’s going to connect Canada with the world,” he said

Got News? Contact Ian, Sandor or Mark at editor@ delta-optimist com or 604-998-3616
VFPA PHOTO
April27,2023 The Delta Optimist - A3 Book your FREE quote today at budgetblinds.com/delta or call or text 604-948-3088 Spring has Sprung & May has Begun *Restrictions apply. Valid May 2023 only This sale is not retroactive with no cash value Bright and bold, out with the old. We have you and your windows covered! Roman Shades Woven Wood Shades Roman + Woven Wood Shade Sale 35% OFF All May Orders
Pictured left to right, one of the port`s infrastructure directors Erin Harios with Vancouver Fraser Port Authority President and CEO Robin Silvester at the Centerm container terminal, which also recently underwent an expansion.

OpponentsangeredbyT2approval

sgyarmati@delta-optimist com

It didn’t take long for opponents of the proposed Roberts Bank Terminal 2 (RBT2) expansion at Delta’s Roberts Bank to express dismay at the federal government’s announcement that the project has been approved.

Tsawwassen resident Roger Emsley, with Against Port Expansion (APE), said the approval was granted despite opposition from a lengthy list of parties including, among others, Environment Canada scientists, scientist experts in wetlands and wetland ecology, Canadian and international environmental groups, research published in peer-reviewed science journals, scien-

tists studying the already endangered southern resident killer whales, scientists concerned about declining Fraser River salmon stocks, thousands of Canadian citizens, U.S. indigenous peoples and the cities of Delta, Richmond and White Rock

He said the government ignored their own scientists’ concerns that the project will result in significant adverse environmental effects that cannot be mitigated, and that it will negatively impact the intertidal food web and the salinity trigger, resulting in a decline in biofilm quality and quantity, a critical food source for millions of migratory and other shorebirds.

Also saying there is economic justification for the project, Emsley

added, “Federal cabinet members need to be aware, with the Fraser Estuary at an environmental tipping point, having lost over 80

percent of its natural habitat, those opposing RBT2 will never accept this decision The fight to save the Fraser Estuary and Roberts Bank from

environmental degradation is by no means over. ”

The environmental law charity Ecojustice, following the announcement, said the science is clear in that the project will cause permanent and irreversible damage to the already threatened southern resident killer whales and Chinook salmon populations

“Approving Terminal 2’s additional impacts in critical habitat while the government has no credible plan to address existing problems makes a mockery of the Species at Risk Act, which is supposed to protect this iconic species,” said Dyna Tuytel, staff lawyer with Ecojustice

Meanwhile, also disappointed is Tsawwassen First Nation member Steven Stark, one of the

founders of an independent Indigenousled organization called Salish Sea Indigenous Guardians Association (SSIGA).

The group is focused on cumulative effects data gathering and advocating for monitoring of the health of the Salish Sea, particularly with the RBT2

Noting a number of TFN members had signed s petition in opposition, Stark told the Optimist following the government’s announcement that he will be reviewing the approval conditions in detail before issuing a more fulsome response

In an earlier interview, he said the TFN was initially part of SSIGA but pulled out due to “ conflicting interests” .

FILE PHOTO
A4 The Delta Optimist - April27,2023 MAY 5-14, 2023 EQUINOX THEATRE DELTAYOUTHTHEATRE COM Get Your Tix! A message from the Delta Teachers’ Association APRIL 28 Day
Mourning We remember the 150 workers who die each year on the job in British Columbia. Let’s make our workplaces healthy and safe.
The David Suzuki Foundation says an extensive independent review, based on scientific evidence, has shown that the megaport would result in irreversible harm to Chinook salmon and the southern resident killer whales that depend on them.
of

GCTangeredatport’s Terminal2plan

sgyarmati@delta-optimist com

It shouldn’t come as a surprise that the operator of the Deltaport container facility at Roberts Bank is not pleased about the federal government’s announcement last Thursday that the Vancouver Fraser Port Authority’s (VFPA) proposed Roberts Bank Terminal 2 (RBT2) project has been given the green light Global Container Terminals (GCT), which will not be the operator of the new three-berth terminal and has been advocating its own alternative expansion proposal, Deltaport Fourth Berth (DP4), said in a statement Friday that the approval comes despite significant opposition to the project and concerns from Environment and Climate Change Canada, labour, community groups and many others

This $3.5 billion-plus taxpayerfunded container terminal expansion project will build a massive artificial island in the ecologically sensitive Salish Sea, GCT notes, adding RBT2 has an unprecedented 370 legally- binding conditions and an additional $195 million in subsidies.

“RBT2 will be the world’s most expensive container terminal expansion project It has no terminal operator in place, and it creates environmental impacts that Environment and Climate

Change Canada concluded are unmitigable and ‘permanent, irreversible, and continuous.’ RBT2, as proposed, will not improve Canada’s trading competitiveness, export capacity nor solve the supply chain issues experienced over the past two years or in the future,” GCT says

“As a leading maritime employer, government decisions impacting the waterfront are important to us and our workforce GCT will take the next few days to review the decision and conditions in detail. GCT’s commitment to our employees, workforce, neighbours, and the communities in which we operate is to advance what we believe is the best solution for Canada’s trading needs and the competitiveness of our business, ” GCT adds

“Our prime focus remains to deliver leading service to our ocean carrier customers and collaborating with our supply chain partners to enhance the effective operation of Canada’s Pacific Gateway”

A federal court ruling last July dismissed GCT allegations of bias against the port regarding the DP4 application.

In 2019, GCT filed an application for a judicial review, challenging the port authority’s decision-making in relation to its long-term planning for delivering container capacity The port authority has countered RBT2 will not be funded by tax dollars.

SANDOR GYARMATI PHOTO
April27,2023 The Delta Optimist - A5 WAVE PETUNIAS IN BLOOM LARGE 1 GAL. POT REG. $899 61 YEARS SERVING DELTA BULK LANDSCAPE PRODUCTS WE DELIVER EVERYDAY • Top Soil • Sand • Gravel • Bark Mulch • Drain Rock • River Rock • Turf Blend Soil • Composted Bark • Road Base • Special Soil for top dressing your beds IT'S TIME TO GET GROWING! TOMATO PLANTS ALL SIZES 2", 4" & 1 GAL LEMON CYPRESS 4" POT REG.$799 STARGAZER LILLY REG. $7 99 PKG REG. $7 99 GARDENING GLOVES NOW $299 NOW 1/2 PRICE NOW 30% Prices in effect until Wed., May 3rd 6508 LADNER TRUNK RD. • 604-946-5986 • OPEN DAILY 9 - 6 NOW $699 EA EA OFF NOW EA $499
GCT is not happy that the T2 project has been approved.

HarvieraisesconcernsfollowingT2approval

Delta Mayor George Harvie is conveying concerns about the federal government’s announcement this week that the Vancouver Fraser Port Authority’s Roberts Bank Terminal 2 (RBT2) project has been approved.

“The port expansion has been an issue of concern for residents of Delta for many years now. The protection of the Roberts Bank ecosystem, better policing of the port, and Indigenous rights are a few of the major concerns that need to be addressed. As mayor, I will continue to work diligently with the federal government and the Vancouver Fraser Port Authority to

ensure this expansion is in line with our vision for Delta,” Harvie said in a statement following Thursday’s announcement,

The Delta mayor noted a previous city staff report, which listed issues of concern including environmental. He subsequently sent a letter to Prime Minister Justin Trudeau asking the government to deny the application.

That recommendation was based on a federal review panel’s findings on the project

The City of Richmond joined the City of Delta in opposing the expansion.

In a letter to Delta council, Richmond

Mayor Malcolm Brodie said that, despite the

potential economic benefits, Richmond was also concerned with the panel’s conclusions.

In addition, the issue of increased law enforcement at the port has also been raised due to the potential escalation of imported illicit drugs and weapons, including illegal firearms, said Harvie

He said it would require more security or policing resources in order to curtail the illegal operations.

Harvie noted he is leading a delegation next week to Ottawa to discuss a number of issues with the federal government, and will raise the port issues during his meetings.

“With an expansion of this magnitude, it is

pertinent that our federal government help

cover their share of costs associated with our vital infrastructure upgrades,” said Harvie

SANDOR GYARMATI/DELTA OPTIMIST
A6 The Delta Optimist - April27,2023 LiveWCE.com T: 604.800.9099 SALES CENTRE OPEN DAILY 11– 4pm 2008 Osprey Drive, Tsawwassen A l enderings are ep esenta ons on y The deve oper reserves the r gh to make changes to any info mat on conta ned herein and make mod f cat ons to spec f cat ons f oo p ans features s zes and measuremen s w hout fu ther not ce Th s s not an offer ng or sa e Any such offer ng can on y be made by way o a d sclosure statement E & OE •Parkside homes in a seaside setting •Studio, 1 and 2 bed condominium homes •Wide Open Spaces, Fresh Sea Breezes •Steps to entertainment and shopping MODERN INTERIORS STRIKING EXTERIORS NOW SELLING STARTING FROM LOW $300,000s CONDOMINIUM COLLECTION
Mayor George Harvie said the issue of increased law enforcement at the port has also been raised due to
the potential escalation of imported illicit drugs and weapons, including illegal firearms.
AT WEST COAST ESTATES IN SUNNY TSAWWASSEN

Firefightersbattlehuge barnfireinEastDelta

MARK BOOTH

mbooth@delta-optimist com

Delta firefighters were kept busy Saturday night battling a large barn fire

It was around 8 p.m. when the first crew arrived at 5054 112th Street in East Delta, near the Highway 99 overpass

“The first alarm was reports of smoke coming from a barn and upon arrival there was heavy flame and heavy smoke so it was upgraded to a second alarm right away. So we eventually had seven trucks, 22 firefighters and a battalion chief on the scene with nearly five halls involved,” said Delta fire Deputy Chief Tim Ipsen.

“Unfortunately, it appeared it had

been going for a while The big structure was lost so it was strictly a defensive approach and that was the main focus, just protecting the other buildings and keeping the fire from spreading.”

Power was immediately cut off to the area for an extended period and fire crews stayed at the scene well into the night.

Investigators were back at the property on Sunday and Monday trying to determine the cause of the blaze.

“It was a storage barn, more than anything else, with some farming equipment inside,” added Ipsen. “We had some our guys with minor shoulder sprains but there were no serious injuries”

FRUIT SPLASH NEW BEVERAGES

We pause every April 28th to remember workers killed and those who still suffer from a work-related injury or illness, their lives and livelihoods forever compromised

Please take a moment of silence to reflect on these fallen workers on this day.

JOIN CUPE 454 FOR THE DAY OF MOURNING CEREMONY

Please join our ceremony at 10:45 at Rotary park in Ladner.

SATURDAY MAY 13TH, 2023

9:00 a.m. – 3:00 p.m.

Ladner United Church, 4960 48 Ave, Delta, BC, V4K 4X6

Delta Po ice Department: Keeping Seniors Safe at Home and in Public

- Dan Lev tt, CEO, KinVil age: The Future of Healthy Aging in Planned Communities

- Dr Christine Geme nhardt, Ger atric Physic an Leader: Preparing for Long-Term Residential Care

- Riten Tamang Alzheimer’s Society: Dementia Friends

Join us for an educational and fun day that includes presentations (see list below), information booths, demonstrations for staying active, live music, a light lunch, door prizes & gift baskets that will be given away throughout the day

Free shuttle bus and parking available from Delta Secondary School (Parking Lot C)

Free admission, pre registration required due to limited space.

Please RSVP to Lisa Wigzell @ Delta Division of Family Practice 604-943-5591

Email: execassist@deltadivision.ca

Presented by the Delta Division of Family Practice, a partnership of Doctors of BC and the Government of British Columbia

Locally Owned and Operated

PHOTO COURTESY DELTA F RE DEPARTMENT
April27,2023 The Delta Optimist - A7 At participat ng McDonald’s restaurants n Canada © 2023 McDonald’s
Delta firefighters battled a large barn fire Saturday night in East Ladner.
TM
STRAWBERRY PASSIONFRUIT LEMON
PEACH MANGO
HEALTHY AGING RESOURCE AND INFORMATION FAIR
Karon Trenaman, ICBC: Enhanced Driver’s Test for Seniors - Lisa Porter and Eva Busich-Veloso, C ty of Delta: Recreation for Adu ts/Pos tive Moves - Dr Grace Park, Fraser Health: Healthy Aging and New Emerging Research - Daniel Bo svert, Notary Pub ic Financial P ann ng W lls and Estates - Ch ef Nei Dubord,
PRESENTERS and TOPICS INCLUDE -

A8 The Delta Optimist - April27,2023

Published every Thursday by the Delta Optimist a division of LMP Publication Limited Partnership 5008 47A Avenue, Delta, BC V4K 1T8 Phone 604-946-4451 Deliveries 604-946-5171 wwwdelta-optimist com

Pierre

com

EDITOR Ian Jacques ijacques@delta-optimist com

TIMOTHY RENSHAW

Business in Vancouver

SALES REPRESENTATIVES:

John Gallinger jgallinger@delta-optimist com

Ruth VanBruksvoort rbruks@delta-optimist com

Lee Fruhstorfer lfruhstorfer@delta-optimistcom

John Avdic javdic@delta-optimistcom

SALES SUPPORT:

Linda Calendino lcalendino@delta-optimist com

DISTRIBUTION:

Kristene Murray 604-946-5171 kmurray@glaciermedia ca

Roya Sarwary rsarwary@delta-optimist com

CLASSIFIED: 604-444-3056 classifieds@van.net

It only took about a decade, but the Vancouver Fraser Port Authority (VFPA) has finally won approval for its controversial $3.5 billion container terminal expansion project at Roberts Bank. Will it be worth the wait? And will the market justify the multibilliondollar investment the Terminal 2 project will require?

In approving the project, the federal government noted that Terminal 2 plan had undergone a “robust and sciencebased environmental assessment conducted by an independent review panel” and that it can proceed subject to 370 legally binding conditions to protect the environment.

It added that the expansion project “will be key to supporting Canada’s economic growth over the coming years. ”

OPINION Entire Contents © 2023 The Optimist All Rights Reserved

Plans for the massive Terminal 2 port infrastructure project include doubling the size of the current 85-hectare Deltaport container terminal with offshore landfill. Once completed and in operation, Terminal 2 will add an estimated 2.4 million 20-foot-equivalent units (TEUs) of container cargo handling capacity for the Port of Vancouver and increase that overall capacity on Canada’s West Coast by 30 per cent.

But the VFPA’s ambitious Terminal 2 expansion project has been the target of controversy and criticism since it was first proposed back in 2012.

Area residents and environmentalists claim that the container terminal expansion will negatively impact bird and fish habitat.

They have also questioned the need for such a large expansion of container handling capacity in the Port of Vancouver and the already congested Metro Vancouver area.

The most recent numbers for major West Coast ports servicing the transpacific trade routes compiled by shipping analyst John McCown show inbound traffic down 32.2 per cent in March compared with the same month in 2022. According to McCown, it marks the sixth straight month of double-digit declines for West Coast ports.

It also underscores what has been a gradual but continued migration of transpacific cargo away from West Coast North American ports to competing ports in Mexico and the Gulf of Mexico and along North America’s east coast.

The union representing Port of Vancouver dockworkers has also opposed the project on several grounds.

Meanwhile, GCT Global Container Terminals Inc., which operates GCT Deltaport, has had a running battle with the VFPA over GCT’s

alternative plan for container handling expansion at Roberts Bank

It claims the VFPA initially rejected GCT’s expansion plan, which is cheaper and would add container-handling capacity incrementally rather than in one large increase, so the port authority can proceed with its more ambitious Terminal 2 project

But the VFPA has maintained throughout its long and winding journey to win approval for Terminal 2 that the added

capacity it will provide the Port of Vancouver and Canada’s Asia-Pacific Gateway is needed for the expected increase in transpacific trade over the next decade

Delays in Terminal 2 approval scuppered the VFPA’s original procurement process to build and operate the terminal. Its search for a terminal operator began in 2013, when the VFPA expected the federal environmental assessment process to be completed by 2016.

The inventory of global

CHUNG CHOW/BIV PHOTO

port and terminal operators with the resources and desire to take on the Terminal 2 project is extremely limited.

While the VFPA deserves applause for its patience and tenacity in sticking with its Terminal 2 game plan for close to a decade in the face of controversy, opposition and federal government delays, the real work in bringing the project to market and justifying the multibillion-dollar investment it requires has just begun.

Analysis:Federalapprovaljustthelatest installmentinlong-runningTerminal2saga Canadian Publications Agreement #212490 Thursday s circulation is 17 500 This paper is made of 40% recycled newsprint and printed using vegetable inks The Delta Optim st is a member of the National Newsmedia Council, which is an independent organization established to deal with acceptable journalistic pract ces and ethical behaviour If you have concerns about editor al content, p ease contact the editor at ed tor@delta-optimist com or 604-946-4451 If you are not satisfied with the response and wish to fi e a formal complaint visit the website at mediacouncil ca or call toll-free 1-844-877-1163 for additiona information
PUBLISHER:
Pelletier ppelletier@delta-optimist
com
REPORTERS: Sandor Gyarmati sgyarmati@delta-optimist
Mark Booth mbooth@delta-optimist com
PHOTOGRAPHER: Jim Kinnear jimgkinnear@netscape.net
DIGITAL SALES MANAGER
Marianne LaRochelle mariannel@glaciermedia ca
Container ship loading at Roberts Bank Deltaport container terminal.

Delta,lookatsafer configurations

Editor:

Re: Proposed 44th Ave. bike lane

Anyone living on the north side of 44th Ave. between Dougald

J Morrison Park and Hutcherson knows that it is dangerous trying to exit your driveway on any given day due to the curve in the road, parked cars and vehicles driving

too fast

The City of Delta now wants to move street parking to the north side of the street plus add bike lanes to the mix to make it impossible to get out of the driveway without potentially killing yourself or someone else. It is unsafe for all concerned

The westbound cyclists will probably use the side-

walk anyways as it will be safer. Garbage and recycling collection should be fun to watch especially when fire trucks are trying to get down the street. The single mixed bike/pedestrian path on the south side of 44th, recently completed west of Arthur Drive, would be a much safer configuration.

Garth Heald

Traffic roundabout: rules are simple

Editor:

Though, initially, more accidents may occur at a newly-constructed roundabout, at their lower speeds they will be less serious than those collisions that may have occurred in the lightcontrolled intersection it

replaced.

For those unfamiliar with the roundabout, the rules are quite simple. Those in the roundabout have priority Give timely signal on entering and leaving. As the right signal is used entering and exiting, beware the driv-

er ’ s ‘forgotten’ signal that wrongly shows intent to exit as you enter. Whether by courtesy or required, a ‘zip’ entry is favored, meaning that every other vehicle in the right lane of the circle yields to one waiting vehicle

Thanks to Delta Hospital staff

The following letter was sent to Health Minister Adrian Dix and copied to Delta Optimist for publication

Dear Mr. Dix

Could you please ask Cathy Wiebe and the other administrators at Delta Hospital (I cannot contact them directly) to thank the doctors, nurses and other support staff

at the ER who helped me heal from a very bad bout of pneumonia.

Over the six days I was at Delta Hospital, I could see the demand on the nurses and others as they worked tirelessly to deal with all that came in, from simple wounds to cardiac arrests. I also saw times when they were working short

staffed, which added to the burden of care on the staff in the ER.

Please encourage Cathy Wiebe and other administrators at Delta to do all they can to show appreciation, encourage and support the nurses and other staff who serve their patients

Vet care went above and beyond

Editor:

I would like to extend a huge thank you to Dr. Wall and the staff at Tsawwassen Animal Hospital

Our senior budgie was having back-to-back seizures Normally he goes

to Night Owl Bird Hospital in Vancouver, but our little guy seemed to be stuck in seizure mode. Our normal vet coordinated with Dr. Wall so that our bird could receive emergency treatment a little quicker and closer to home

Everyone I dealt with at Tsawwassen Animal Hospital was very kind and helpful. Dr. Wall went above and beyond, continuing to coordinate with our regular vet over the phone.

Letters
April27,2023 The Delta Optimist - A9 Gettheresultsyouwantfrom experienceddentistswho Listen,Serve&Care. 555012th Avenue,Tsawwassen•604-943-3343•robertsdental.ca Drs.Jan&WarrenRoberts ACCEPTING NEWPATIENTS SURREY, RICHMOND AND VANCOUVER
4 31 31
4

DAY OF MOURNING

More cultural events please

Editor: I just wanted to say… even though I’m not what I would call a huge fan of poetry (at least not since college!) I attended the Unbound Poetry Festival at the North Delta Centre for the Arts on April 15… and I had a good time!

This was a free event and featured live events all day long in a beautiful new Delta performance venue.

I sat down for a poetry reading accompanied by appropriately sparse live music plus an artist painting a canvas live to

the poetry (was that my first time seeing performance art?).

I’m glad I went, but I also wanted to say that I think this was a good use of our Delta taxpayers’ money.

It was my first time attending an event in The North Delta Centre for the Arts, and I’m glad I braved the rainy-day drive from my place in Ladner to give it a try.

I encourage more Delta residents to come out for similar cultural events here in Delta -there was room for hundreds more people.

Coming out and taking part in our community events can make life in Delta a lot more fun!

I want to add that promoters and organizers and also sponsors of cultural events like this should be given lots of our encouragement. Lastly, thanks to the Delta Literary Society for all the work it took to organize the show, and also to Delta Parks Recreation and Culture for supporting this event. Let’s encourage the City of Delta to offer more cultural events.

Comments were disrespectful

Editor:

Re: Council approves Ladner Village six-storey proposal

Mayor Harvie’s overthe-top, disrespectful, degrading speech in using words such as “decayed, disgusting and rotting” to describe historic Ladner Village - when trying to “sell” the Headwater/Dunbar six-storey building at the April 17 council meetingshows how little he really knows about Ladner.

Many of the buildings he “dumps on” - particularly along Chisholm St. have important historic, heritage value. Massey’s Machine Shop, the Ladner-Woodwards Landing ferry, the Brackman-Ker store and others - all are long associated with Delta farming and fishing.

Yes - on the Ladner Waterfront maybe three or four buildings need paint, a hammer and nails, but the Mayor’s

comments were also hypocritical - because some of that so-called “rotting decay” has involved city-owned properties such as the forgotten 7-Seas Fish plant and its adjoining collapsing dock.

But wait! Here’s a quick DIY solution!

Mayor and council could donate their huge new salary increases to a Ladner Waterfront Improvement Fund!

Take responsibility for waterfront development

Editor: Regarding Mayor Harvie’s comments in this story that Ladner Village has shabby buildings, a lack of people and is in a state of decline, just a side note that maybe the stores were closed when your wife and you walked around after dinner.

How many years has it been since Delta purchased the waterfront

properties for develop-

ment?

Mayor Harvie and council have you gone to Steveston lately with its “shabby” buildings?

They kept the inner core and developed the waterfront to make it a destination. The only development that you have done was to build a “lookout” with artificial grass.

Talk about shabby.

They also didn’t build six-storey buildings in their inner core.

We could have a more vibrant village if Delta council participated in developing the inner harbour and promoting the village instead of promoting more people as we will still have shabby buildings and limited activity when all the stores are closed.

Letters
A10 The Delta Optimist - April 27, 2023
(left to right): Councillor Daniel Boisvert, Councillor Jessie Dosanjh, Councillor Dylan Kruger, Mayor George V Harvie, Councillor Alicia Guichon, Councillor Rod Binder, Councillor Jennifer Johal On April 28, we commemorate all workers who have been killed or injured on the job. Mayor George V. Harvie and Delta Council are dedicated to providing and maintaining safe and healthy work environments for all Delta staff.

Community steps up for Latino migrant workers from Ladner farms

Elisya Allos’ hometown didn’t let her down

It was last weekend when the lifetime local resident read on the Ladner’s Landing Facebook Group that 16 bicycles belonging to Latino Migrant workers from three nearby farms had been taken on Arthur Drive while they were attending Sunday Mass at nearby Sacred Heart Church

Were they stolen or mistakenly believed they were left out for Delta’s Spring Clean-up Week?

Allos has her own theories, but her only concern was the workers who suddenly had lost their only mode of transportation

She immediately reached out to Kim and Jon Pelan who run the charity Latino Workers Support Society They helped get the word out if anyone had any bikes, equipment or locks to donate, but they only could do so much The couple and their young twins were about to fly to Guatemala for an extended stay.

That’s when Allos and her family stepped up.

“My fiancé and I are living in the basement suite of my parents’ home I grew up in, so there’s four adults here, so I told her we would do it. So suddenly we had all these bikes at our place. My dad has been helping me every night to tune them up and get them rideable,” Allos said.

So far 14 bikes have been donated to workers at West Coast and Millennium famrs. Gus Getz from Sacred Heart Parish has also donated another seven to Windset farms The goal now is to deliver 24 bikes since some workers didn’t have one.

Anyone with bikes or equipment they

would like to donate can reach Allos at: alloselysia@gmail.com. A Go Fund mepage has also been set-up for cash donations

“It kind of like re-stored my faith in humanity,” added Allos “Everyone’s just been absolutely wonderful My husband and my dad and I have actually got to meet so many, like amazing people in Ladner, just by going around picking up these bikes”

Fortunately, if the bikes were stolen, it appears to be an isolated incident according to Acting Insp James Sandberg, media spokesperson for Delta Police.

“I have done a database search for theft of bicycles between April 10 and April 18. In that time period, DPD received four separate reports regarding theft of bicycles – one from River Road West in Ladner, one from Scottsdale Mall, one from Superstore on Scott Road, and one from 92nd and Scott,” said Sandberg

“Determining which calls are related specifically to spring clean-up can be subjective when you reflect back on the data. We generally get more suspicious person reports because people are picking through the discarded items”

PHOTO SUBMITTED
April27,2023 The Delta Optimist - A11 A PORTION OF PROCEEDS SUP OCEEDS PPORTING Meet Olympic Gold Medalist Andrea Proske LEARN MORE & PRE-ORDER SEEDLINGS May 6th from 9:30am to 5:30pm at 4930 Elliott St, Delta, BC SEEDLING SALE Shop In-Store Prefer to Pre-Order? Pre-order seedlings online and pickup at 5300 34b Ave, Delta, BC on May 6th. Order by 11am May 5th to secure your fave varieties. 604-948-5450 or text 604-307-2032 www.hangandshine.ca • Shutters & Faux Wood Blinds • Silhouettes, Pirouettes & More! • Mirage Retractable Screen Doors Custom Blinds Local owner/operator since 1997 CALL FOR YOUR FREE IN HOME ESTIMATE CUSTOM BLINDS & SHADES
The community has stepped up to replace bikes stolen last week from migrant farm workers in Ladner.

DPDofficersrecognized fortheirheroicactions

Provincial awards presented April 19

MARK BOOTH

mbooth@delta-optimist

During a special ceremony in Victoria on Wednesday night (April 19), several Delta Police officers were recognized with provincial awards for their heroic actions.

On May 18, 2022, a single-vehicle collision resulted in the vehicle being partially submerged in the Fraser River on its roof Const Melissa Ker went into the river, broke a window to the car, and held the occupant’s head above water until more assistance could arrive and extract the occupant from the car. For her life-saving efforts Ker received the award for Meritorious Service

On Nov 15, 2022, officers entered a burning home to rescue and apprehend a person suffering from a mental health crisis The officers were con-

fronted by a person who was uncooperative and armed with a knife Due to the exigency of the situation, the officers needed to take immediate action to disarm the person, secure them and get out of the burning house For their life-saving efforts, constables Chris Bond, Mixon Madland, and Mason Woods received awards for Meritorious Service.

On Jan. 30, 2019, while working for the Metro Vancouver Transit Police, Const Josh Harms was shot twice at the Scott Road station while attempting to arrest a known person. For his involvement in this investigation, Harms received an award for Valorous Service. Harms has since joined the Delta Police Department

The Delta Police Department joins the Transit Police in recognizing and celebrating Harms for his actions during a life-threatening encounter

A12 The Delta Optimist - April27,2023 604-940-9695 dhchfoundation.ca Charitable No. 12984-4114-RR0001 Caring for our community, today and always. media partner: Support women’s healthcare in your community. Give today. GOT STUFF? from /month $50 4141 River Road, Delta NEED LOCAL ORAGE? L STO CALL 604-943-7735 FOR LOCAL STORAGE • RV, Boat Parking & Storage • Pt. Roberts Mini & Mobile Storage 360-945-6464 LADNER STORAGE 4141 River Road, Delta Route # Route Info # of Papers Interested in becoming a carrier? Call or email to be added to the waiting list. Kids and Adults Needed for These Upcoming Routes Call 604-946-5171 or email distribution@delta-optimist.com 1600104 1st Ave, 55A St, 56th St, Diefenbaker Wynd, Summer Pl, Way, Wallace Ave 82 1600106 1A Ave, 2nd Ave, 51A St, 52A St 59 1600303 Kuma Cres, Pacific Dr, Skana Dr 50 1600305 Pacific Dr 36 1600306 Pacific Dr, Stahaken Crt, Pl 44 1600335 8A Ave, 12th Ave, 49th St, English Bluff Rd 40 1600401 14B Ave, 15B Ave, 55th St, 55A St 23 1600406 12th Ave, 13A Ave, 55th St, Malibu Pl, Malvern Pl 44 1600412 12A Ave, 12th Ave, 13th Ave, 49th St, English Bluff Rd 58 1600423 Birch Spring aland, Cedar Spring Dr, Fir Springs Lane, Spring Blvd, Willow Springs Ave 77 1600427 Pine Springs Lane, Springs Blvd, Cedar Springs Dr Pl, Willow Springs Ave 71 1610109 Admiral Blvd, Lane, Brigantine Rd, Clipper Pl, Cutter Pl, Ketch Rd, Commodore Rd 101 1610301 44th Ave, 45th Ave, 52A St, 55B Sst, Maple Lane, Oak Pl 86 1610501 48A Ave, 49B Ave, 50th Ave, 53rd St, 54th St, Hazel Crt, Linden Dr Lander Trunk Rd 86 1610509 48B Ave, Ladner Trunk Rd, 56th St, 57th St, Egan Pl 56 GFL Delta Composting is creating a Public Advisory Committee to hear community concerns and work together on improvement opportunities. GFL DELTA COMPOSTING is looking for engaged citizens to join its Public Advisory Committee. Members will help support GFL Delta Composting’s community engagement in the region. Learn more at gfldelta.com. Make your voice heard and submit your feedback here: gfldelta.com/engagement

Celebrate independent bookstore day

Come celebrate ‘Canadian Independent Bookstore Day’ (CIBD) this Saturday, April 29 with a visit to your local indie bookstore.

A world of adventure awaits on every shelf and discussions are lively CIBD is an annual cultural celebration and an opportunity for readers, authors, illustrators, and publishers to acknowledge the vibrant literary ecosystem created by our independent bookshops The stores in this national network act as key community ambassadors, convenors of important conversations, and contributors to vibrant local economies

By joining in, you are advocating for independent businesses and supporting a flourishing book selling community As an added per, you could win up to $1,000 to spend at your favourite bookshop. Find the details at cibabooks ca/CIBD

Celebrating 60 years in business this year, Black Bond Books is a local, family owned independent bookstore Step through the door and you’ll be welcomed by staff who are passionate about books and eager to help you discover something new or reconnect with

Staff outside Black Bond Books when they made the move to Ladner Village in May 2021. Black Bond is inviting the community to help them celebrate Canadian Independent Bookstore Day this Saturday

a classic.

Whether you are searching for a howto-book, the new novel from your favorite author or a children’s book for a new grandchild, your community bookstore is here to help 2023 is especially important - this year marks 60 years of bookselling for Black Bond Books, 11 years since the addition of Book Warehouse, and April is six months since Hager Books joined the family.

-Submitted by Black Bond Books

$1,650 SAVINGS ON SELECTED MODELS - HURRY LIMITED QUANTITY APPLIES

• FORTIS REBATE $300

POWER OUTAGES?

NEVER BE WITHOUT HEAT AGAIN NO POWER - NO PROBLEM

conditions apply)

- TRUSTED CAMPBELLCARE NAME

- HIGHEST QUALITY INSTALLATIONS

DONE RIGHT - THE FIRST TIME!

- FINANCING AVAILABLE

A delicious life

Sometimes in life you get lucky and find a person who makes you better, encourages you to try harder, guides you along the way and helps you become you This person for me was Chef Julius Pokomandy, my Culinary Arts teacher at South Delta High School in Tsawwassen

I have absolutely no idea how this amazing man ended up teaching in my school cafeteria It’s like finding Michael Jordan coaching the local youth basketball team, but for anyone who attended his classes or cooked in his kitchen, he ran that school like a five-star hotel with students as his elite culinary brigade He supported the dreams of every single kid who entered his class, and gave his time and energy to make everyone love food and appreciate the work

that went into a great meal Cooking was part of his soul, and his passion for delicious was infectious, so much so that I literally became a chef. I adored his classes and his larger-thanlife personality, adjusting my entire schedule to attend them all When I was failing in math, science and English, I was exceling in cooking, and spent all day, every day, with him in that kitchen preparing food from scratch to feed the hundreds of students who came for lunch to devour his homecooked food He was adored in South Delta High School by everyone and deeply respected and admired by the best chefs across Canada as his opinion on food and cooking was considered golden

Everyone in their life has a hero and my hero is and will always be Mr P With

an apron as his cape and a spatula his weapon to wield, his super power was undoubtedly his heart. Sadly, it was his heart that stopped beating last week, probably because he gave most of it to everyone else he cared about.

From the thousands of students he taught, and hundreds of chefs he touched, no one would be quite the same without having met this amazing man

Take a few minutes and cook something nice today Take the time to bake, roast or braise a dish slowly with love, and care to celebrate Mr Julius Pokomandy and the life he dedicated to making the world around him a little more delicious.

FILE PHOTO
April27,2023 The Delta Optimist - A13
FURNACE • HEAT PUMPS
AIRCONDITIONING • DUCTLESS
TANKLESS & COMBI BOILERS UP TO $11,000 IN REBATES
FORTIS • GREENER HOMES - CLEAN B.C. WE’LL BEAT YOUR OTHER ESTIMATE
00
INVENTORY BLOWOUT •
By $250
(some
Perfect Fires by…. OFFICE/SHOWROOM: 7063 Venture St Delta • 604-946-1000 STORE SHOWROOM: 6045 W Boulevard, Vancouver ACT NOW OFFER EXPIRES MAY 15TH
INDOOR & OUTDOOR ENIVRONMENT
ENTORY
PERFECTING YOUR
YEAR
TO
UP
OFFICE/SHOWROOM: 7063 Venture St Delta • 604-946-1000 STORE SHOWROOM: 6045 W Boulevard, Vancouver
YOU COVERED! Perfect Fires by…. ACT NOW-OFFER EXPIRES MAY 15
HAVE
BLOWOUT!

Nature Notes: The mysterious Black Swift

LINDSAY LALACH

Birds Canada

Spring is here and bird migration season is upon us!

One of the many species making their way back to British Columbia is the Black Swift, a nationally endangered and provincially Bluelisted species.

The Black Swift is part of the globally declining group of aerial insectivores. During the breeding season, they are commonly found feeding for insects in the air with other swifts and swallows, including above the Fraser Delta. They can be recognized by their dark colour, larger size, and slower wingbeat

In 2022, Birds Canada began the Black Swift Conservation Project to fill knowledge gaps about the species in B.C. by collecting data on their nesting locations and breeding behaviour, as well as assessing localized threats

This species builds their nests on inaccessible ledges or niches on cliff faces near waterfalls and in canyons, often in remote settings, and the adults rarely attend the nest, making it very difficult to find the exact nesting locations

Birds Canada, alongside our dedicated volunteers, surveyed 22 B.C.

waterfall sites, in 2022, conducting 44 nest occupancy surveys in total. We found 10 nests, five of which were at the same location, making it the first colony documented in the coastal region of B.C. We were able to collect important data about the species, its behaviour and habitat requirements, and we intend to continue surveys and monitoring this summer.

While there are many factors contributing to the decline of aerial insectivores, you can take action to support their conservation and monitoring. This includes reporting sightings through platforms like eBird and other citizen science programs, or taking action against pesticide use and climate change. Through continued efforts, we can help support the recovery of this group of birds and preserve the ecological components that they rely on Please check out our website at: birdscanada.org for more information

Editor’s note: Nature Notes is a monthly column presented by the Delta Naturalists and their community partners. For info on monthly meetings and more see: www dncb wordpress com and www.facebook. com/DeltaNats/.

Community
KRIS CU PHOTO A Black Swift nesting. A14 The Delta Optimist - April27,2023 1. Available to new customers (new customers means not have subscribed to Internet, TV and Home Phone service within the past six months). Your promotion consists of monthly savings off the regular price. If the regular price increases, your monthly price will increase, but you will continue to receive your monthly savings during the promotional period. Changes to your services may result in loss of savings. At the end of the promotional period, the regular price will apply Professional installation fee of $69.95 may apply All bundles displayed include unlimited internet data,excluding the Internet 100 plan which includes 1 eero (additional eeros can be added to these plans for $5/mo). Speeds and coverage may depend on geographic area, eero placement, device set-up and capabilities, applicable network management practice, certain in-home materials or equipment, or other factors. Eastlink Internet service is required. Eeros are optimized in Internet plans at no additional cost. Maximum of four (4) TiVo Stream DVR's are included. Additional TV Receivers can be purchased for $7.95/mo Hey Delta! yourway Enjoy Services Visit our store at 5381 Ladner Trunk Road or call 1-888-345-1111 Fibre Link Internet + TV for $9995/mo*

Community LadnerElementarywins DeltaReadingLinkChallenge

Excitement, nerves and jubilation punctuated the air when the 2023 Delta Reading Link Challenge took place on Friday, April 21, the first in-person challenge since the pandemic began.

Fifteen school teams assembled in Tsawwassen’s South Park Elementary gym - seven from North Delta, five from Tsawwassen and three from Ladner.

Delta school district trustee Joe Muego, board chair Val Windsor and Delta Libraries Manager Dr Sarwan Singh Randhawa attended

All teams finished with near-close scores, with four teams tied for second place.

The winning team, with an almost perfect score, was Ladner Elementary’s Masters of the Book

Congratulations to team members Sophia Binfet, Calum Buchanan, Claire Gillan, Ganessa Leigh, Paige Orzen and Oaklyn Stalker, along with Learning Support Teacher Carole Abercrombie, who will now go on to represent Delta at the Fraser

Valley Regional Library Community Challenge on April 27.

The FVRL Reading Link Challenge is a yearly event that encourages reading as a fun and recreational activity for grade 4 and 5 students of all reading abilities to engage in the sport of reading Interested students form teams of six players.

Teams are accountable for knowing the contents of six books, with each team player responsible for reading at least one

title Students get the books (provided by FVRL) in November and read until February After the Delta Challenge, the winning team competes in the FVRL Community Challenge with the hopes of representing FVRL at the regional Grand Challenge, where they’ll compete against teams from other public libraries for a chance to win the Reading Link Challenge Trophy.

-Submitted by Fraser Valley Regional Library

PHOTO COURTESY FRASER VALLEY REGIONAL LIBRARY
April27,2023 The Delta Optimist - A15 c� usfG"tlG%Js �buyBC Learn how 1 veggies ocal greenhouse are gr ownf Tr ynew reci pe our on-si/e am h ples from C ef! See whywe s live in a :Py02 ur veggies _...__,__ a 4171 Saturday, May 6 10 am - 2 pm Westcoast Vegetables Ltd: 3905 46A St, Delta Sunnyside Produce Ltd: 1133-176 St, Surrey 1602-4949 Canoe Pass Way, Tsawwassen • Monday - Saturday 11:30am - 8:00pm 778.630.0470 • twostonesgrill.ca • great google reviews CHOICE OF TWO BURGERS OR SANDWICHES with green salad & french fries $2800 Maximum 2 coupons per table. Valid Mon - Thurs. Expires June 1, 2023 DINNER FOR TWO 2 Caesar Salads 2 New York Steaks and Prawns Served with mashed potatoes and asparagus $4800 Maximum 2 coupons per table. Expires June 1, 2023 Godisreal,Godislove, Godisbetter thanfood. All work done by hand, no brushes or poles. In and out service. HOME SERVICES Mobile Same Day Blind Cleaning 604-948-5450 or text 604-307-2032 WINDOW AND GUTTER CLEANING
Pictured left to right; Dr. Sarwan S. Randhawa, Delta Library Manager, Joe Muego, trustee, Val Windsor, board chair, Carole Abercrombie, Learning Support Teacher, Ladner Elementary, and students Sophia Binfet, Ganessa Leigh, Claire Gillan, Paige Orzen, Calum Buchanan and Oaklyn Stalker.

Fish on fences create a stream of dreams at Cliff Drive Elementary

Recently, students at Cliff Drive Elementary took part in an awardwinning environmental education and community art program, Fish on Fences, facilitated by the Stream of Dreams Mural Society

Students participated in several workshops where they learned where their local watershed is, where their water comes from, where it’s going and what they can do to prevent water pollution, before painting a wooden fish that was placed in a colourful mural along the school’s fence.

On April 14, while parent volunteers helped install the mural along the fence, Cliff Drive students came outside to watch and engage in discussion with Nathan “Kaanaax Kuwoox” Wilson, Indigenous Cultural Mentor, who emphasized the importance of keeping streams clean for our salmon and other aquatic creatures He also shared the importance of salmon in Indigenous culture and its connection to our community

“Littering into places like the ocean will seriously harm our salmon You have to be very careful and always make sure

you put your garbage in the right spot We learned about all of this from Stream of Dreams and

we raised our own salmon in the classroom This makes me have a much better understanding and appreciation for salmon on our planet,” said Alex, Grade 5 student “This program is a great way to encourage students to make positive environmental impacts while also creating a community art legacy,” said Tricia Stec Skillings “All storm drains lead to fish and wildlife habitats, so we hope that our Fish on Fences mural will act as a valuable reminder for people to be extra careful of what goes into the drains in their neighbourhood We were thrilled to bring the Stream of Dreams Mural Society team into our school to lead this important project We would like to extend many thanks to our PAC for their generous financial contribution which allowed this program to come to our school and also to the Pacific Salmon Foundation for their generous grant”

Community
DELTA SCHOOL D STRICT PHOTOS Students at Cliff Drive Elementary took part in an award-winning environmental education and community art program, Fish on Fences, facilitated by the Stream of Dreams Mural Society.
A16 The Delta Optimist - April27,2023 WANTED NEWSPAPER CARRIERS • Earn & Learn to Handle Money • Get Exercise • Learn Time Management DISTRIBUTION 604-946-5171 DELIVERED EVERY THURSDAY distribution@delta-optimist.com PLEASE RECYCLE THIS NEWSPAPER. KITCHEN CABINETS DONE IN 1 TO 2 DAYS! CABINET REFINISHING 70% Less Than Replacing or Refacing! Wespecializein ProtectingYour Investment! UPTO TRACEY BOOTH - FOUNDER Before After GOT GREASE? GOT PEELING? GRLOOKS EAT! CELEBRATING30YEARS REFINISHINGCABINETS! FREE DEMOS FREE ESTIMATES NO TOXIC CHEMICALS NO DUST! Love your cabinets, but not how they’re worn? Gleam Guard offers a simple, cost-effective solution. We also refresh cabinets which costs less than refinishing. Text cabinet pictures to 1-604-218-7470 or call. www.gleamguardcabinetrefinishing.ca McDonald’s • 1835 56th Street TSAWWASSEN • 5776 Ladner Trunk Road LADNER If you are interested in becoming a carrier please call 604-946-5171 Seaghan won a gift card courtesy of SEAGHAN JENSEN

Around Town Observation walks

Join in observation walks with the Delta Naturalists this Saturday, April 29 from 10 a m to noon

Members of the Delta Naturalists will take you on a nature walk to help look for species and make observations with you

There are three locations for the walks:

-Ladner Harbour Park (meet at the picnic shelter)

-Boundary Bay Regional Park (meet at the main bathrooms)

-Delta Nature Reserve (meet at the Planet Ice parking lot)

Walk-ins welcome, or register ahead of time by emailing cae@delta ca

Spring Fling

All Saints Anglican Church, Ladner is hosting its annual sale of hanging baskets, and selected plants on Saturday, May 6 from noon to 4 p.m. We also invite you to join us for tea and refreshments in the hall. All proceeds support funding for our free Monthly Community Meal

Quiz Night

Another Quiz Night is on tap at KinVillage on Saturday, May 6 Teams of four required at a cost of $40 per team. Bar opens at 6:30 p.m. with the quiz starting at 7 p.m. Enter your team by calling 604-943-0225 or register at reception Monday to Friday between 9 a.m. and 2:45 p.m. Pay by cash, credit or debit Provide a contact name, phone number and team name.

LIFESTYLES

Event to report?

DeltaYouthTheatre’sShrekTheMusicalJr.

Delta Youth Theatre (DYT) is proud to let the young people’s company ‘freak flag fly’ when it presents Shrek The Musical Jr running Friday, May 5 to Sunday May 14 at the Equinox Theatre at South Delta Secondary

The 90-minute, familyfriendly show follows the adventures of an ogre named Shrek, in a story where audiences will see their favourite fairytale characters come to life in a new and hilarious light Shrek’s journey towards love and self-acceptance leads us to take a look at our prejudices, and work to better understand ourselves and others. It’s a very accessible musical theatre experience for all ages

“Shrek Jr not only has depth in its theme of self-acceptance, it is also joyfully funny,” says Tony Barton, co-founder of DYT.

Tracy Neff, DYT’s other cofounder, goes on to explain that in one rehearsal, she had tears streaming down her face from laughing so hard.

“That was a first!” Neff says, given that Shrek Jr marks DYTs 14th production.

With music by Jeanine Tesori, book and lyrics by David Lindsay-Abaire, Shrek The Musical Jr. is based on the Oscar-winning DreamWorks Animation film and the book Shrek by William Steig. The original Broadway production, starring Brian d’Arcy James as Shrek and Sutton Foster as Fiona, ran for 12 months and received a total of 12 Drama Desk Awards and eight Tony Award nominations, including Best Musical.

For backstage peeks and performance updates, audiences can follow DYT on their social media channels: Facebook, Instagram, and TikTok

DYT presents Shrek The Musical Jr. at the full accessible Equinox Theatre (750 53rd St ) Tickets from $32 to $40 are available online at: www. simpletix com/e/shrek-jr-tickets-122351

-Submitted by Delta Youth Theatre

Small, Smaller, Smallest starts May 5 at Gallery 1710

Contributing Writer

The walls at Gallery 1710 in Tsawwassen are being decorated with pictures billed as “Small, Smaller, Smallest”

Artists from the South Delta Artists Guild has a challenge this month is to paint smaller and to include sculptures which are affordable for everyone. In May, mum ’ s the word.

To help celebrate the formal opening of this new show, which starts May 5, and to help with your bottom line, artists have created a free card making workshop with artists offering supplies and expertise to help create the perfect card for your mom.

Gillian Olson will be demonstrating pop-up cards, while Coral Gurney will be using nature as her muse Joyclyn Storr Brown will bring her drawing skills to the mix, with Lea Price’s abstracts at centre stage with vibrant color and texture Myrna Webster uses stamps and applique to tweak your fancy. Bring your friends for a fun day on Saturday, May 6 from noon to 4 p m Light refreshments will be offered. Small, smaller, Smallest runs until May 28

Gallery 1710 is located at the south end of the South Delta Rec. Centre complex and is open Friday to Sunday from noon to 4 p m

See: www.southdeltaartistsguild. com for more details.

Ian at ijacques@delta-optimist com or 604-998-3616
Contact
LAUREL JOHNSON ERAN SUDDS PHOTO
CONTRIBUTED
Cast members from DYT’s production of Shrek The Musical Jr. pictured left to right; Emilia Musso, Jeronimo Rendon, Eleanor Dueck and Maximus Metcalfe.
IMAGE
April27,2023 The Delta Optimist - A17
Dale Byhre’s Along the Fishing Wharf is part of the new show which opens next week at Gallery 1710 in Tsawwassen.

CHURCH DIRECTORY

Sacred Heart Catholic Church

3900 Arthur Drive, Ladner 604-946-4522 sacredheartparish.ca

Our humanity is in our humility

John 13: 1-15 is a story that is mostly read during Holy Week and Easter, but it impacts our lives daily.

The story of Jesus washing the feet of his disciples is a challenge for us to rediscover our humanity We have got to rediscover one another We have got to realize the value of others We have got to realize our need for others.

The problem is that we think others do not matter, but as John Donne rightly said, “No man is an island” We depend on one another We need one another!

Our humanity is not even in the race that we are born in or under! Before we are white,

Sundays

Minister’s Minute

St. David’s Anglican Church

black, brown or whatever colour, we are first and foremost human beings

Before we are a Jew, Christian or Muslim or whatever religion we are first and foremost human beings Our humanity is not in our religion. Our

humanity is primarily in our being human beings.

Sad it is that the disciples of Jesus failed to understand this. Perhaps every one of them felt more important than others, thus, none of them imagined washing another person ’ s feet Everyone felt they were the ones to be served by others

Jesus said to them, ‘I give you a new commandment, that you love one another Just as I have loved you, you also should love one another. By this, everyone will know that you are my disciples if you have a love for one another.’

Let us choose to be humble and to love as Jesus has loved us.

www.allsaintsladner.org

4755 Arthur Drive, Delta

4594 – 54A Street, Ladner, B C 604-946-7033

office@ladnercrc.com

www.ladnercrc.ca

Street Tsawwassen Rector

Rev Simbarashe Basvi

Sunday Service 10 am Wed. Service 11 am

604-943-4737

st.davidsdelta51@gmail.com

Tsawwassen United Church

693 – 53rd Street, Tsawwassen

Welcome to everyone for Worship & Friendship

Sunday’s @ 10:00 am

Rev Daniel Kirkegaard

tuc@telus.net 604.943.2911

“Be Faithful,betrue, be a blessing”

Community
SIMBARASHE BASVI
A18 The Delta Optimist - April27,2023 A Warm and Joyful welcome to Mass Schedule Saturday at 5pm Sunday at 9am, 11am and 5pm Daily Mass in the Chapel at 9am Mon-Sat LOVE LIKE JESUS SOUTHDELTA.ORG 604-9438 - 244 SUNDAYS 10AM Everyone welcome to worship with us SundayServicesinLadnerat9:30a.m Sunday Service at 10:00 am + Nursery & Children Services Pasters: Danny Stebeck, Nick Osborne & Devon Martinsen of Faith: very good! Home Bank & Creation Station Daycare Sunday Service at 10:00 am + Nursery & Children Services Sr Pastor: Danny Stebeck Youth Pastor: Dustin Huguet 5545 Ladner Trunk Rd., Delta, B.C., V4K 1X1 604.946.4430 • www.ladnerlife.com Ladner Fellowship Benediction Lutheran Church Join us as we celebrate God’s grace We invite you to worship in person Sundays at 9am or online anytime at www.benedictionlutheran.org 5575 6th Ave Tsawwassen, BC 604-943-3432 Pastor Thomas Keeley LADNERGOSPEL ASSEMBLY Sunday Worship Service 10:30am All Ages Welcome! “Aplacewhereloveandfriendshipmatters” www.ladnergospelassembly.com www.ladnerlife.com info@ladnerlife.com 5545 Ladner Trunk Rd. ONLINE OR IN-PERSON, Sundays @ 9:30 a.m. ST DAVID’S ANGLICAN CHURCH 1115 – 51A
at
a.m.
10:30
中文主日崇拜 10:30 am
楊牧師
Rev. Jason Truell
Nancy
Join us on Sundays 8:30 am and 10 am Eucharist or Wednesdays 10 am Eucharist and Bible Study For more information
or
call 604-946-8413.
Chevron 360-945-0828 8AM-10PM Nielson’s Building Center 360-945-3116 9AM-5PM UPS Store 360-945-4877 9AM-7PM CONVENIENTLY LOCATED Point Fuel & Pantry 360-945-7611 7AM-11PM FILL UP AT ONE OF OUR TWO LOCATIONS, BRING US THE RECEIPT AND PICKUP YOUR PARCEL FOR 99 CENTS*. *See store for details. Fuel Prices on our website coming out soon! CHEAPEST GAS IN TOWN
All Saints Anglican Church

Mother’s Day

HowtomakeMother’sDayspecial

Mother’s Day has felt a little less than normal over the last couple of years. The COVID-19 pandemic led to the cancellation of many Mother’s Day gatherings for several years, but now things are certainly returning to normal.

Here are some tips if yo want to make sure Mom has a special day:

Revisit old traditions: There’s many ways to let Mom know she’s special, but after two years of living under the specter of a pandemic, few things might be as meaningful to Mom as a return to pre-pandemic traditions Book a trip to a destination you ’ ve visited on Mother’s Day in the past. If possible, visit a locale where Mom spent her first Mother’s Day as a parent, ideally staying in

the same hotel or rental home that hosted you back then. If it was once tradition to spend Mother’s Day in a big city, return there and enjoy a day that recalls pre-pandemic life

Book a special trip: Millions of people cancelled or postponed travel plans during the pandemic. Now that many places, including foreign countries, have lifted travel restrictions, families can feel safe taking off for parts unknown. Such a trip can be even more special if it’s a surprise for Mom on Mother’s Day weekend. Make it a family affair: Even Mother’s Day celebrations in 2021 were likely smaller affairs than some moms might have preferred. If Mom spent some time wishing more

family could be around on Mother’s Day over the last two years, make a concerted effort to include as many family members as possible this year. Encourage grown children to travel home for the holiday and invite Mom’s parents and siblings over to celebrate as well

Get out of the house: A home-cooked meal might have warmed Mom’s heart in recent years, but a day out of the house might be especially welcomed this Mother’s Day Book a reservation at Mom’s favorite local restaurant so no one has any cooking or cleaning to do this year Just be sure to book a reservation early, as the competition for a table figures to be especially stiff this year.

Start the day off with

Learn the meanings behind popular Mother’s Day flowers

Mother’s Day is a time to express love and appreciation for mothers, sentiments that are often expressed with gifts

Flowers are a popular present to bestow on Mother’s Day, as they can brighten a room and bring a sweet aroma to any household.

While any flowers may ultimately suffice on Mother’s Day, gift givers may want to select flowers for Mom that convey specific messages.

The language of flowers has been recognized for centuries. Though perhaps not as heralded as it once was, flower symbolism persists to this day

Here’s a look at some of the meanings behind certain types of flowers to help

guide Mother’s Day gifting:

Amaryllis: These plants start as bulbs and are naturally spring-blooming flowers The name comes from the Greek word “ amarysso ” , which means “to sparkle” and they symbolize pride

Aster: These daisy-like flowers are delicate-looking perennials. Asters make great gifts because they symbolize love and daintiness.

Begonia: There are more than 2,000 types of begonias, and the flower symbolizes deep thoughts.

Bleeding heart: These flowers are red and pink blossoms that look like the perfect heart shape with a teardrop at the bottom

Camellia (white): White camellias stand for purity and innocence, but they also symbolize admira-

tion and respect Camellias make beautiful additions to any bouquet.

Daisy: Daisies are happylooking flowers, and according to Norse mythology they represent motherhood and children

Delphinium: Delphiniums come in pink, white and blue varieties and embody youth and renewal They’re a good pick if you want to convey a continued or renewed affection for a person

Tulip: Tulips with an orange hue are thought to represent understanding and appreciation. They can express appreciation for Mom or another special person Yellow tulips symbolize happiness, while pink tulips are symbolic of love.

-Metro Creative

Mother’s Day celebrations in 2023 should feel more normal than they have in years. Families can capitalize on that by planning a day Mom won’t soon forget.

a spa visit: Moms might have put pampering on hold during the pandemic. Now that public health

agencies have given the go-ahead to lift restrictions, a good pampering is undoubtedly in order.

A Mother’s Day morning spa trip can start the day off right.

Mother’sDay BUFFET

Back by popular demand RiverHouse will once again be offering a Mother’s Day brunch buffet on

Sunday, May 14th, 2023

Seatings at 10am, 12pm and 2pm.

ADULTS $45 | SENIORS $42 | KIDS $26

-Metro Creative METRO CREATIVE PHOTO
April27,2023 The Delta Optimist - A19 RiverHouseRestaurantandPub com

KinVillagelaunches7 Over70AwardsGala

KinVillage is pleased to announce the launch of the 7 Over 70 Awards Gala, which aims to celebrate the excellence and contributions of older adults in the Greater Vancouver area The gala will recognize and honour individuals who have made significant contributions to their communities, enhancing the quality of life for those over the age of 70

The awards will recognize exceptional contributions in one or more of the following areas: health and recreation, arts and culture, science, business, volunteerism, environment, overcoming adversity, and making a difference

Nominees will have started a new venture, reprised an existing one, or taken their previous work in a new direction, showcasing the incred-

ible talents and abilities of older persons in the community.

“I’m delighted to see a new program recognize the significant contributions of older persons in our communities,” says Isobel Mackenzie, BC Seniors Advocate. “In fact, as people get older, they often give even more to the community in whatever way they can. It is important to acknowledge these important contributions which inspire us all to be involved and make our communities even better.”

The event will also raise funds for KinVillage’s older adult programs and services. The funds raised will be used to fund a capital campaign to expand a Day Program for Older Adults, helping them age in place in the community. The goal is to raise $5 million to open the day

program for older adults by 2025.

“Older adults are a valuable, and often underutilized, segment of our community,” added Dan Levitt, CEO of KinVillage. “The awards will shine a light on their contributions and remind them that they are a valuable resource, capable of making a significant difference in their community.”

To nominate an individual for an award, please visit: www.kinvillage org/7over70 The deadline for nominations is June 16. Winners will be announced in August and celebrated at the 7 Over 70 Awards Gala on Sept. 16 at Tsawwassen Springs Ballroom

Tickets and sponsorship for the event are available on the KinVillage website at: www kinvillage.org/7over70.

-Submitted by KinVillage

A20 The Delta Optimist - April27,2023 3820 ARTHUR DRIVE, LADNER • WWW.AUGUSTINEHOUSE.CA Your Next Chapter Begins at Augustine House Stay Active and Independent in a warm, welcoming community! Book Your Tour Today Call 604-940-6005 Email: info@augustinehouse.ca Trusted. Local. Independent. Investment for income Tax e�cient investing Investing for seniors Richard W. Kortje Associate Portfolio Manager & Senior Wealth Advisor T: 604.643.0188 rkortje@cgf com richardkortje.com A div sion of Canaccord Genuity Corp Member - CIPF and ROC Carol R. LeVasseur DD Denturist/Denturologiste 4960 Bridge Street, Delta, BC, V4K 2K1 604.946.9411 | www.cd.bc.ca Denturists are Denture Specialists Since 1988, proudly providing our Community and beyond Complete Removable Dentures ~ Removable Partial Dentures Dentures over Implants ~ and, Relines PromptemergencyrepairsandHome/Hospitalcareprovided No Referrals Necessary Myquaintofficeisstilllocatedinthe ofHistoricLanderVillage Celebrat ng 30 years ♥ LIVING
THE GOOD LIFE +

Healthyagingresourceand informationfairforseniors

For older adults transitioning into their senior years, questions often arise on where to find reliable information on how to keep seniors healthy, safe, and in their homes for as long as possible with appropriate support.

On Saturday, May 13, the Delta Division of Family Practice, in collaboration with community partners Ladner United Church, Delta Police, Fraser Health and the City of Delta invite you to participate in the Healthy Aging Resource & Information Fair.

The Healthy Aging Fair aims to support seniors, and their families while also empowering them to become better informed and proactive about their own health, care, finances, safety and aging.

The Fair will have a schedule of speakers, giving presentations throughout the day as well as many information booths and a number of demonstrations for healthy aging The day promises to be informative and fun! Lunch and door prizes will be available throughout the day

This is a free fair and open to the public, but advance registration is required due to limited capacity To register, please call Lisa Wigzell at 604943-5591 or email execassist@deltadivision.ca.

The fair will run from 9 a m to 3 p.m. at Ladner United Church, and there is a free shuttle bus to from Delta Secondary

-Submitted by Delta Division of Family Practice

April27,2023 The Delta Optimist - A21 DHAS Volunteers Supporting Healthcare in Delta since 1969 Healthcar DELTA HOSPITAL AUXILIARY SOCIETY Registered Charity Number: 13952-5596 RR001 FREE30Day Trial! Start Lifeline Today For 24/7 Peace of Mind *tria for new c ents up to a $50 va ue Insta lation fee extra 604-946-1121 Ext 783268 DELTA LIFELINE deltalifeline@gmail.com HELP ALERT BUTTONS TO KEEP YOU SAFE & LIVING INDEPENDENTLY Management for Seniors & Their Families Are you a Senior Living at Home? We Can Help You... Did you know you can get in Home Healthcare management from a Registered Nurse? YOUR PERSONAL HEALTHCARE GUIDE Jennifer Gayler, Founder and CEO, H2H Healthcare Providing peace of mind for clients and their care partners. Servicing Ladner & Tsawwassen Call us for a free 30-minute consultation. 604-671-4357 (HELP) www.h2hhealthcare.ca Meet Jennifer Gayler I’m Here2Help! LIVING THE GOOD LIFE + 604.364.7156 g Come for a tour, and stay for a complimentary lunch! Call today: BriaCommunities.ca RETIREMENT. LIVING! Move in today and enjoy all the benefits of all-inclusive senior living • Freshly made, delicious meals with many options offered each day • Weekly housekeeping service • 24-hr reception & personal safety services • Courtesy shuttle for local trips • Month-to-month residency agreements Home is Right Here!

DELTASPORTS

Two-sportstandoutwillbe gettingherkicksinOregon

SDSS senior Julia Fechter also thrives in ringette

It will take a move to Oregon next fall for Julia Fechter to at last focus on just one sport.

The Grade 12 South Delta Secondary student will be continuing her soccer career at Pacific University in Forest Grove after accepting a scholarship offer from the NCAA Division III school. It was back in September when Fechter impressed Boxers’ head coach Chelsea Davis during a recruiting camp.

“It was just really good chemistry and the program is going through a bit of a re-build, so it’s a good situation,” said Fechter who plans on studying kinesiology “It’s always been a dream of mine to continue my schooling and play soccer at the same time.”

The midfielder is currently playing at the Metro U18 level with the Provincial Cup-bound Delta Coastal Selects and also helped the South Delta Sun Devils capture their second provincial title in school history last June.

Fechter chased down her soccer dream while also thriving on the ice as an elite ringette player She spent much of her final season as a member of the provincial U18 team.

“It all started when I was little and taking skating lessons,” said Fechter. “I was just doing some free skating and I think I was around 10 when my friend brought me into the sport It just sounded really cool at the time and there was this program called ‘Springette’ which a lot of

girls end up doing because it’s after the season and you can borrow gear to try it out.”

Years of hectic schedules followed with the competitive seasons for both sports happening simultaneously. At one point Fechter put competitive soccer on hold before continuing her juggling act

“It’s been a challenge It’s a big commitment to both teams because it’s at the same time,” said Fechter. “There have been many days where I am going from one game right to another.”

Her Metro team’s impressive run in the Coastal Cup playdowns means her youth soccer career will extend to Canada Day Weekend for the Provincial “A” Cup Championships in South Surrey. It should follow the Sun Devils making a strong bid to repeat as B.C. champs.

Fetcher is among a number of key returning players She got introduced to coaches Stephen Burns and Brent Sweeney’s highly successful program back in Grade 8.

“We are trying to get back to the provincials (for a record) 20th year, so it’s big deal. We just want to keep the strong environment of SDSS soccer going,” she added “We lost a couple of seasons to COVID, but I remember my Grade 8 year and (senior standout) Brea Gallagher being my idol (Laughing) I even got her to sign my yearbook.”

Corner kicks...

U17 South Delta United has qualified for the Les Sinnot Memorial Provincial “B” Cup Boys Championships in July after a 2-0 victory over Coastal F.C. last

weekend at South Surrey Athletic Park

The teams were battling for the final berth in the Coastal Cup playdowns after South Delta was edged in penalty kicks the previous week by Langley in the semi-finals.

Meanwhile, U18 (2005) and U14 (2009) Delta Metro Selects girls teams will be looking for some redemption when they head to South Surrey Canada

Day Weekend for the Provincial “A” Cup Championships.

The U18s dropped a 1-0 heartbreaker in penalty kicks to West Vancouver in last Sunday’s Coastal “A” Cup Final played in Maple Ridge.

The U14s fell 2-0 to Fraser Valley They will look for more magic back in South Surrey after winning the U13 provincial title a year ago.

Sports stories? Contact Mark at mbooth@delta-optimist com
JIM KINNEAR PHOTO Tsawwassen’s Julia Fechter in action for the U18 Delta Coastal Selects in their march to the Coastal “A” Cup final. The Grade 12 South Delta Secondary student will be continuing her soccer career at Pacific University in Oregon.
A22 The Delta Optimist - April27,2023 RealEstateConsultant BSc, MBA, Diploma Urban Land Economics,
Grad Certificate in Real Property Valuation Roya LePage Regency Realty Ltd., 1333 – 56th Street, Delta, BC Contact Dean at 604.603.8538 or dbauck@deanbauck.com Personal Real Estate Corporation
Post

Point Roberts pitcher earns weekly honours Ringetteplayersshineonbigstage

mbooth@delta-optimist com

Sean Heppner’s impressive sophomore campaign has now produced a pair of weekly conference awards.

The Point Roberts native and UBC standout was named Rize Laboratory Cascade Collegiate Conference Pitcher of the Week thanks to his careerhigh 13 strikeout performance in a win against Bushnell University He allowed five hits over seven innings of work to improve to 5-3 on the season and lower his ERA to 3.20.

It was back in March when Heppner was recognized for his 10-strikeout and shutout performance in a win against nationally-ranked Lewis-Clark State College.

Heppner’s journey to the Point Grey program included playing for the Delta Tigers out of Winskill Park before heading to the B.C. Premier Baseball League with the North Delta Blue Jays. His younger brother Ryan is also with the Thunderbirds and is off to a fine start in his freshman season with 5-2 record .

mbooth@delta-optimist com

A group of talented players that came together through Delta Ringette are now making an impact with regional and provincial teams

Nerissa Beeby, Eva Ekholm, Haeley Keen and Rachael Pugsley wrapped up their seasons at the recent Canadian Ringette Championships in Regina as member of the U16 B C team

Although B.C. didn’t reach the podium with a 2-3 record, Beeby was recognized for her outstanding play by being named to the tournament’s First All-Star Line on defense This is a significant

accomplishment in a sport where B C teams are typically in tough against the traditional powerhouse provinces, making individual recognition difficult to achieve The championship

season started with the four girls helping Zone 2 (Delta, Richmond, Vancouver) capture the U16 title at the Ringette B C Provincials

Beeby and Pugsley then joined three other

Delta players – Amorey Cronmiller, Farryn Leigh and Gabriella Bender – as members of the Vancouver Coastal team that won gold at last month’s B C Winter Games in Greater Vernon.

Sports
SUBM TTED PHOTO
April27,2023 The Delta Optimist - A23 Ideal bright location, low maintenance 1995 semi-custom above Imperial Village, walking distances to schools & amenities. Cul-de-sac cliff side views to West. Updated throughout, Roman bath, smart toilet, dual W/D Luxurious Oak spiral staircase to foyer Updated cabinetry, appliances, new aircon/heat pump, lighting & plumbing fixtures. Electric & dual gas fireplace heat. West facing rear deck w/awnings & gazebo Private safe showings available Peter 236-868-4687 peter@uplandshomerealty.com MLS# R2707918 1641 53A Street TSA PRICE REDUCTION! $1,848,888 Modern 4 bdrm 2.5 bath SCAN FOR PICS & VIDEO BUYER’S AGENTS WELCOME Mind Your Business IntroducingtheBusinessWire Accesstop businessnewsonlineanytime. ScanQRcode,orvisit delta-optimistcom/bizwire POWEREDBY
Delta Ringette players Nerissa Beeby, Eva Ekholm, Haeley Keen and Rachael Pugsley helped Zone 2 capture the B.C. Ringette U16 provincial title.
A24 The Delta Optimist April27,2023 THE F RM REAL ESTATE SERVICES LTD 101 4755 51ST Street De ta BC V4K 2W2 w w w . f r a s e r e l l i o t t . c o m PATON DRIVE BUILDING LOT • 11,844 sq ft lot • Highly desirable street • South West facing backyard • Cleared and ready to build 5443 PATON DRIVE, LADNER $1,398,800 *Based on total REBGV MLS sales for 2021 all teams under 15 Agents. #1 RANKED REAL ESTATE TEAM IN ALL OF BRITISH COLUMBIA!* 604.728.2845 5400 WALLACE AVENUE, TSAWWASSEN $1,488,800 LARGE FAMILY HOME • 3 bedrooms, 3 bathrooms • 2,200 sq ft home one 6,899 sq ft lot • Sunny & private South facing backyard • Plenty of space for all of the family • Quiet area yet close to all amenities & schools NEW LISTING GORGEOUS HOME ON DESIRABLE STREET • 5 bedrooms, 4 bathrooms • 3,964 sq ft home on 9,602 sq ft lot • Beautiful, high-end updates throughout • Huge games room could be a sixth bedroom • Private backyard with large patio, pool, and hot tub 4933 3 AVENUE, TSAWWASSEN $2,499,900 NEW LISTING APPROVED DEVELOPMENT LOT • Approved for 3 non-strata row homes • Approx. 2,200 sq ft, 3 level homes • Close to shopping, schools, and all amenities • Steps to Historic Ladner Village 4780 48B STREET, LADNER $1,500,000 POINT ROBERTS WATERFRONT LOT • 0.68 acres with 75’ ocean frontage • Rare West facing low bank lot • Completely levelled & cleared, septic installed • Enjoy whale watching & sunsets from your backyard 585 MARINE DRIVE, POINT ROBERTS $949,000 STUNNING ARCHITECTURALLY DESIGNED HOME • 5 bedrooms, 6 bathrooms • 7,493 sq ft home on 20,000 sq ft lot • Bright living spaces with 2 kitchens • Beautiful indoor pool and jaw-dropping wine cellar • Incredible Ocean and sunset views 667 ENGLISH BLUFF ROAD, TSAWWASSEN $4,688,800 ONE OF THE LAST FEW CENTURY HOMES NOW AVAILABLE • 4 bedrooms & den, 1 bathroom • 2,642 sq ft home on 6,415 sq ft lot • Lovingly maintained with tasteful updates throughout • Master on main or above, large rooftop deck • Working art studio plus outbuilding for your creative ideas 5584 8A AVENUE, TSAWWASSEN $1,498,800 BODEGA RIDGE ESTATES ON GALIANO • 60 acres (approx 20 acres per parcel) • Panoramic Ocean and Mountain views • Develop 3 single family estates and/or a winery • Electrical services located nearby, well services on the property • Enjoy the natural coast in complete privacy LOTS 5-7 BODEGA BEACH DRIVE, GALIANO ISLAND $1,999,900 SOLEIL TERRACE 2 BEDROOM • 2 bedrooms, 2 bathrooms • 880 sq ft condo with balcony • Open and bright living area • 1 parking space and storage locker • Close to all amenities and highway 308-5599 14B AVENUE, TSAWWASSEN $629,900 SOUGHT AFTER RIVER WEST • 2 bedrooms & den, 2 bathrooms • 1,638 sq ft condo with 2 parking stalls • Huge primary suite with walk-in closet & full bath • 2 large patio areas for outdoor living • Amenities include gym, workshop, hot tub, and sauna 207-4753 W RIVER ROAD, LADNER $899,900 STUNNING “MODERN” HERITAGE HOME • 7 bedrooms, 5 bathrooms • 4,983 sq ft home on 8,712 sq ft lot • Completely updated throughout with the utmost care & detail • Enviable kitchen with high-end appliances & wood stove • Beautiful outdoor spaces for living and entertaining • Walk to Ladner Village’s shops & restaurants 4847 GEORGIA STREET, LADNER $3,300,000 NEW LISTING LARGE NORTHGATE OFFICE SPACE • 1,131 sq ft office condo • Over $180,000 of improvements • Beautiful, bright workspaces • Visitor parking, elevator, and washrooms • Centrally located with easy access to highway 203-1777 56 STREET, TSAWWASSEN $1,299,900 NEW LISTING
April27,2023 The Delta Optimist A25 604.728.2845 | info@fraserelliott.com Contact us today for a free home evaluation: The Spring Market is here! Now is the time to list! SOLD! SOLD! SOLD! SOLD! SOLD! SOLD! SOLD! SOLD! SOLD! SOLD! SOLD! SOLD! SOLD! SOLD! SOLD! SOLD! SOLD! SOLD! SOLD! SOLD! SOLD! SOLD! SOLD! SOLD! SOLD! SOLD! SOLD! SOLD! SOLD! SOLD! SOLD! SOLD! SOLD! SOLD! SOLD! SOLD! SOLD! SOLD! SOLD! SOLD! SOLD! SOLD! SOLD! SOLD! SOLD! SOLD! SOLD! SOLD! SOLD! SOLD! SOLD! SOLD! SOLD! SOLD! SOLD! SOLD!

OPEN HOUSE SUNDAY 2-4PM

6277 Dawn Drive, Ladner

$1,749,000

2,687 sq. | 5 bedrooms | 3 bathrooms

5,842 sq. lot

PRIDE OF OWNERSHIP THROUGHOUT!

Open concept living & kitchen w/ expansive windows overlooking private gardens. BONUS: Extended driveway & 2 car garage w/a c storage (200 sq ). Close to Holly Elementary School, parks, transit and hwys.

$1,419,900

2,905 sq. | 4 bedrooms | 2 ½ bathrooms

13,164 sq. lot

RENT, RENOVATE OR RE-BUILD! Original custom home tucked away on the top of a quiet cul-de-sac with some views of Boundary Bay & the North Shore mountains. Ideal loca�on with a great opportunity! FABULOUS FIND

2,634 sq. | 5 bedrooms | 3 bathrooms

7,868 sq. lot

SOMETHING SPECIAL! Professionally renovated & located in a sought-a er area. The NEW custom kitchen is designed for people who like to cook and entertain. Cul-desac loca�on, over-sized double car garage, big bedrooms & much, much more!

4888 2 Avenue, Tsaw

$1,348,000

891 sq. | 2 bedrooms | 1 bathroom

7,546 sq. lot

PRIME LOCATION! UPPER TSAWWASSEN!

SOUTH FACING LOT! Build up to 3,263 sq home + basement (verify with the City of Delta). Quiet loca�on near Fred Gingell Park and Tsawwassen Beach.

5363 Rega�a Way, Ladner $909,900

1,334 sq. | 2 bedrooms & Den| 2 bathrooms

Southpointe. Private, Peaceful, Perfect!

#201-4755 51st Street, Ladner

$900,000

1,150 sq. | 2 bedrooms | 2 bathrooms Ladner Village Gate

Convenience at your doorstep! Located on the fringe of Historic Ladner Village is this amazing 4 year old corner unit in a bou�que building w/ open concept and surrounded by windows.

1745 Enderby Avenue, Tsaw

$2,350,000

2,635 sq. | 4 bedrooms | 3 ½ bathrooms

6,039 sq. lot

#7-5661 Ladner Trunk Rd, Ladner

$539,900

Buy a way of life in Beach Grove. Superbly built ‘custom home’ with an a en�on to detail, finishings & luxury appliances, 10’ ceilings, large family friendly kitchen, huge primary bedroom with spa-like ensuite, A/C plus detached dbl car garage. SOLD

Move in ready rancher with a long list of updates plus a double car garage. Tranquil se ng overlooking the green space & waterway Adult oriented 55+ gated community RETIREMENT RETREAT!

857 sq. | 2 bedrooms | 1 bathroom Oak Glenn Terrace. Spacious condo w/ large living & dining area with fireplace Access to pa�o from main living area & master bedroom. Walk up pa�o access makes this feel like a townhome! Act FAST!

SOLD SOLD SOLD SOLD SOLD

A26 The Delta Optimist April27,2023
B A Personal Real Estate Corpora�on Richard
Personal Rea Estate Corpora�on Amy Lambert, B.A. Personal Real Estate Corpora�on
Todd Jackson,
Lowe, RIBC
Mike Van Straaten,
BMgt
Realtor
1037 Bayview Place, Tsaw
5374 Chamberlayne Avenue Ladner 5575 Cove Inlet Road Ladner #107-4738 53 Street Ladner 4959 Cedar Springs Drive Tsaw 5527 52nd Avenue Ladner #112-4745 54A Street Ladner
$1,679,000
780 Gilchrist Place, Tsaw
President’sClub-2020 Top1%-REBGV
NEW LISTING
April27,2023 The Delta Optimist A27 The Cote Group “Service is the ” Bruce Cote 604.788.9108 bcote77@telus.net Personal Real Estate Corporation Ray Win Yang 778.999.1015 Personal Real Estate Corporation RE/MAX Progroup A Portion of all Commissions Are Donated To Children’s Miracle Network 11 years Medallion Club Member (Top 10 percent of all Greater Vancouver Realtors) www.BruceCote.ca 普通 流利 THIS IS THE ONE YOU HAVE BEEN WAITING FOR!!! The best location in the complex, quiet and private with south facing patio - master bedroom on the main! Welcome to Peninsula Village Well appointed master bedroom looking on to the manicured gardens. This sought after complex with the 2 car side by side garage and level walk to the main floor No stairs for main floor living. The 2 bedroom and loft area above have a separate full bathroom for guests. This end unit has light from three sides to make the unit nice and bright. THIS HOME DOES NOT BACK ONTO 152ND OR 24TH STREET, BEST LOCATION IN THE COMPLEX. #54-2500 152 ST., SOUTH SURREY $939,000 Prime location at Parkway! This spacious 2 bedroom & 3 bathroom corner unit townhome is located in a quiet central location in South Surrey close to Sunnyside park, shopping, transit, easy highway access. The main floor is wide open and features an abundance of natural light, a large living room with gas fireplace, open concept kitchen with island, stainless steel appliances, corner sundeck and much much more. Upstairs features two large bedrooms including a huge master with walk-in closet & private ensuite. Low maintenance fees make this an ideal place to call home. #18-2733 PARKWAY DR, SOUTH SURREY $839,000 Sought after location. 2 bedroom unit ROYAL OAKS, 1100 56TH STREET, TSAW COMING SOON RARELY AVAILABLE PARKRIDGE GARDENS!!!!! This complex was retrofitted in 2020 including new building envelope, windows, patios & doors. Spacious bright two large bedroom & 2 full bathroom rancher townhouse. This beautiful unit features an open floor plan and well laid out kitchen with eating area and pass through Huge master bedroom with a walk-in closet and ensuite with jacuzzi soaker tub! Hot water on demand installed in 2020 Two outdoor patios featuring private sitting area off the master bedroom. In-floor radiant hot water heat & gas fireplace. Attached single garage plus a 2nd parking spot right off the unit. 1 Dog or 1 Cat allowed (under 44 Lbs.). Walking distance to amenities. Minutes from future Skytrain station coming to Fraser and 152 St. #101-8972 FLEETWOOD WAY, SURREY $699,000 JUST SOLD #108-2280 WESBROOK MALL VANCOUVER #71-4638 ORCA WAY TSAWWASSEN 5327 UPLAND DRIVE TSAWWASSEN 4792 NEVILLE STREET BURNABY 5785 GOLDENROD CRES TSAWWASSEN #103-1300 HUNTER ROAD TSAWWASSEN JUST SOLD JUST SOLD JUST SOLD JUST SOLD JUST SOLD JUST SOLD JUST SOLD

NEW LISTING

NEW LISTING $1,488,000

$1,988,000

5046 1A Avenue

Location! Fantastic family home located on a prestigious cul-de-sac in upper Tsawwassen. Extensively renovated and ready to move in. Great family floor plan, 2,946 sq. Ft. main floor living with kitchen, family room and dining room facing to a south sunny backyard. 4 bedrooms and huge games room on upper floor, 3 baths, double garage and plenty of storage. Fully renovated including, kitchen, bathrooms, flooring, appliances, lighting, interior/exterior paint, and landscaping. Newer roof, boiler and hot water tank. This home shows beautifully!

$1,588,000

65 Deerfield Place

Charming 3 bedroom/2 bathroom rancher in “Deerfield”. Located on a quiet cul-de-sac backing onto greenspace. At 2167 sq ft this rancher has a fabulous layout with an oversized primary bedroom with walk in closet and sliding doors opening onto private patio. Large living and dining room opening up to sun drenched west facing patio overlooking mature landscaped garden. Radiant in floor heat, skylights, hardwood flooring. This home has been lovingly looked after by the original owners, bring your own design ideas to make it yours.

1206 Pacific Drive

Located in Stahaken on Pacific Drive, one of the nicest subdivisions in Tsawwassen, this 4 bdrm/3 bathroom home was custom built by Carl Jensen for the existing owner Grand entrance with vaulted foyer, large formal dining and living room with large kitchen/family room opening up to the back patio. Manicured gardens and yard provide a park-like setting. 3 bedrooms up including a spacious primary bedroom with a large 5 piece ensuite and spacious walkin closet. Separate games room above the garage provides added flex space. Fantastic layout for family and entertaining. Radiant heat and several updates including newer roof, IBC Boiler, interior & exterior paint, blinds, appliances and more.

#201-1480 Foster Street, White Rock

WELCOME TO WHITE ROCK SQUARE - Well kept 2 Bed, 2 Bath unit with over 1259 sqft. Vacant & ready to move in. This large unit has southwest ocean views, great layout, with an enclosed 8’x20’ solarium, in-suite storage room, large locker and secured parking. Located right in the heart of uptown White Rock & only steps to amenities: shopping, restaurants, park, recreation, transit & more. Solid concrete building with amazing amenities area & roof top deck with spectacular views! Enjoy over 1000sqft common area with fireplace, pool table, card tables, lounge & kitchen. Heat and Hot water included in maintenance.

A28 The Delta Optimist April27,2023 Eugene Knoedler 604.219.3177 Eugene@eugenek.ca Jack Knoedler 604.353.6410 JackKnoedler@remax.net SERVICE AND RESULTS YOU DESERVE Eugene Knoedler PERSONAL REAL ESTATE CORPORATION 2021 * Medallion Club represents the top 10% of Greater Vancouver Realtors based on MLS sales. DELTAREALESTATE.NET Independently Owned and Operated RE/MAX City Realty | 5090 48 Avenue, Delta, BC V4K 1V8 | Office 604.943.8080 | Eugene@eugenek ca | deltarealestate.net
$569,000
NEW PRICE
Connecting agents to the community Reach more home buyers and sellers in your market 604-961-9534 | rewads@glaciermedia.ca
JUSTSOLD

This stunning 2 bedroom & den, end unit rancher home nestled in a tranquil setting is an absolute must to see! Over 1,650 square feet of living space all one level. Featuring an open concept living area, dining area, and cooks kitchen with ample cabinets adjacent to family room. Master bedroom with walk-in closet, and 5 piece bathroom. Good size second bedroom, bright den/office, another full bathroom, and a powder room. Quality finishing throughout, new roof 2017, radiant in-floor hot water heat, and beautifully maintained. Double garage and lots of extra parking for visitors. Listen to the birds or pull out your binoculars to watch the eagles in their nests from your spacious private patio. Unbelievably private yard with garden beds to delight anyone with a green thumb. Located on the picturesque banks of the Fraser River there is so much to see and do. Come delight in natures finest scenery Enjoy walks on the Millennium trail to Deas Island Park or check out the Marina, golf course and restaurants nearby These homes rarely become available so call now for your private viewing.

1, 6105 River Road, Ladner $1,169,000.

April27,2023 The Delta Optimist A29 info@thechanceyteam.com thechanceys.com LINDA CHANCEY Personal Real Estate Corp. BOB CHANCEY Personal Real Estate Corp.
CHANCEYS REAL ESTATE GROUP
C TY REALTY
only Re/Max Team in South
to achieve the prestigious PINNACLE
award! 101, 4926 48 Ave, Ladner $569,900 JUST SOLD 5464 Candlewyck, Tsawwassen $1,169,900 JUST SOLD OVER ASKING RIVER WOODS - NATURES FINEST OPEN SUNDAY 2:00 - 4:00
THE
604-946-8899
The
Delta
CLUB
4620 44A Ave, Ladner $1,299,000 JUST SOLD AS BUYERS AGENT 4870 Coleman Place, Ladner $1,299,800 JUST SOLD 5278 Westminster Ave, Ladner $1,699,000 JUST SOLD 6073 44A Ave, Ladner $2,850,000 JUST SOLD 5037 57A St, Ladner $1,399,000 JUST SOLD over asking
A30 The Delta Optimist April27,2023 (604) 868-0028 www.nataliewalker.ca City Realty NEW LISTING $849,000 205-5500 13A AVENUE, TSAWWASSEN The Shaughnessy - Spacious 2 bedroom, 2 bath 1,342sf corner unit in the most amazing location adjacent to Tsawwassen Town Center & Highland Park Fabulous layout with generous room sizes $1,449,000 8-4638 ORCA WAY, TSAW Seaside by Mosaic 2,246sf 4 bed 3 bath 1/2 duplex in the best location in the complex with ocean & greenbelt views Plenty of upgrades and the spectacular tower set this apart from anything else on the market MLS# R2746916 OPEN HOUSE SUNDAY 2-4PM www.sellingsouthdelta.com A-4786 48 Avenue Ladner • MLS# R2750459 $1,639,000 Chic carriage home 2679 sf 3 bedrooms; 3 bathrooms. Detached coach home1 bed/1 bathroom, 846 sf over double garage. Total for both houses 3625 sf 231 Morningside Drive Tsaw • MLS# R2758177 $1,649,000 Fully renovated 2859 sf, 3 bedroom, 4 bathrooms on a private 4365 sf lot Views of mountains + oceans. % 311-4690 Hawk Lane Tsaw • MLS# R2734583 $629,000 875 sf, 2 bedroom + 2 bathroom + den, 1 parking, 1 storage. West exposure. 407-1428 56 Street Tsaw • MLS# R2758817 $875,000 Beautifully appointed two level penthouse with 17’ ceilings in main. 3 bedroom, 2 bathroom 2 side by side parking and storage locker NEWPRICE 104-5500 13A Avenue Tsaw $849,000 BEST of the Shaughnessy! Ground floor corner unit, 2 bedroom + 2 bathroom with an extra large South facing patio. 1 parking + 1 storage locker OPEN SUNDAY 2-4PM

JUST LISTED!

MLS R2769971

ROSEWOOD COURT GEM!

5 4748 54A STREET $929,900

HIDDEN GEM! Rarely availab e family friendly Rosewood Court townhome with premier spot in the complex and ideal West Ladner ocation close to everything This br ght 3 bedroom, 3 bath unit with spacious layout has been beautifully maintained and offers one year old floor ng, paint and more Featuring open ground floor liv ng and 3 bedrooms up with a gorgeous ensuite off the master that is perfect for the young family or downsizing It also offers a private South exposed yard with good-s zed covered pat o for entertain ng

34 acre parcel with 823 ft of road frontage features an English style country home, 5 stall barn, hay field and generous pasture area which has been an established equestrian facility for decades The property offers an ideal central location just 5 minutes to Tsawwassen or Ladner, Tsawwassen Mills Mall, BC Ferries DeltaPort Way TFN Industrial Park transportation and more. This parcel is close to BC Railway in an area of transitional properties with amazing future potential Call anytime for more information

first home, a townhouse in Port Moody Their experience, patience and of course, sense of humour were so reassuring through the whole process. We felt they had our best interests at heart and we loved working with both of them Thanks! Vince and Kate.

April27,2023 The Delta Optimist A31 Just Sold!! #308 - 1140 55 Street, Tsawwassen 968 52A Street Fabulous large lot, great location, mortgage helper! Coming Soon!! Harry Ratchford 604-315-2633 chratchford@gmail.com Call Harry for a FREE MARKET EVALUATION of your home! AMEX BROADWAY WEST REALTY - SUITE 201-10055 W BROADWAY - 604.738.8878 Brian Elsey 604-551-9396 belsey@telus.net SPRING MARKET LIST WITH US NOW AND CATCH THE SPRING MARKET. BENEFIT FROM A COMPLIMENTARY MARKET EVALUATION. WHAT OUR CLIENTS ARE SAYING ABOUT US Brian and Harry assisted us with a sale and purchase, the latter took some time as we had a definite image of the property we required! Brian encouraged us in our search, eventually we found the light, bright , spacious condo we had been seeking. Brian and Harry are both very knowledgeable of the supporting companies one needs to use, cleaning crew, home inspectors etc. Made our move easier to have a couple of names given to us for us to make a choice rather than having to peruse yellow pages or internet advertisements. We are certainly enjoying living in the condo we found together Thanks guys! Sue and Don. Brian and Harry helped us purchase our
Re/Max Real Estate Services www.westcoastfarmsteads.com info@johnnielsen.ca 110-3540West41stAve,VancouverV6N3E6 John Nielsen PERFORMANCE Real Estate Service 35 Successful Years The next move is yours... Experience • Knowledge • Professionalism 604.250.8216 CALL JOHN TODAY NEW PRICE! MLS R2604526 360º TOUR 20 ACRES, 2 HOMES & HUGE BARN 4774 104TH STREET $6,250,000 First t me th s amazing secluded 20 25 acre parcel has been offered for sale since 1955 which is located just off Hornby Drive on the quiet section of 104th c ose to Boundary Bay and private member grass airstrip All 3 buildings on this property were built in 1972 which includes a sprawling 3,162 sq ft 4 bedroom rancher w/30 + car concrete driveway was substantially renovated and enlarged in 1987 and roof redone 10 years ago The second res dence is a 1238 sq ft Woods bungalow presently rented and the spectacular 8,400 sq ft 20 stall barn which was used from day 1 to breed race horses up until 7 years ago is truly a first class facility complete w th steel roof and cladding Attention to detail here is second to none including chain l nk fencing that surrounds the entire property PORT GATEWAY MLS R2681681 360º TOUR AMAZING FUTURE POTENTIAL 2975 53RD STREET $5,950,000 Almost square 17
and 2 park ng spots, one covered with add t onal storage in the carport A great opportunity to ve carefree in a amazing community JUST LISTED! OPEN SATURDAY 3:00-4:30 PM & SUNDAY 2-4 PM 1160 EHKOLIE CRESCENT $1,599,000 THE VILLAGE! This tastefully renovated rancher with walkout basement on quiet no thru road in a beautiful area of upper Tsawwassen is deal for the grow ng family or downsizing with room for company downstairs Featuring well over a $100 000 was spent 10 years ago to create the warm spac ous wide open plan up with an amazing optioned out gourmet kitchen with S/S appliances and enlarged primary bedroom w th nicely done ensu te Other notab e updates include the windows with Hunter Douglas blinds Lennox 95% efficient furnace and brand new H/W tank. The home lends tse f to natural suite potential down plus a sunny West exposed composite deck out front and a very large fenced backyard w th fresh grass with bonus backyard access to English Bluff Road perfect for the utility tra er Come check out this super inviting comfortable home
A32 The Delta Optimist April27,2023 www taylorbrownrealty com 604-362-0350 info@taylorbrownrealty com @TaylorBrownRealEstate Taylor Brown Personal Real Estate Corporation 519 20673 78 Ave, Langley $750,000 1074 Esquimalt Ave, W Vanc. $2,499,900 223 4955 River Road, Delta $649,000 4682 46 Avenue, Delta $1,449,000 520 20673 78 Ave, Langley $559,000 712 168 Powell Street , Vancouver $439,000 MULTIPLE OFFERS MULTIPLE OFFERS MULTIPLE OFFERS MULTIPLE OFFERS MULTIPLE OFFERS Just So d Just So d Just So d Just So d Just So d Just Sold When one of your biggest investments is being purchased or SOLD, the key factor in the outcome is always within the strategy. Thinking of Selling? Let’s decide together if this market is for you & come up with a tailored marketing plan to get your home SOLD for top dollar in today’s market! This communication is not intended to cause or induce breach of an existing agency agreement. $550,000 | 204 16 Lakewood Drive , Vancouver For Sale 2 Bedrooms l 1 Bathroom l 785 sq.ft. $1,250,000 | 46-5510 Admiral Way, Ladner 4 Bedrooms l 4 Bathrooms l 2,029 sq.ft. Just Sold MULTIPLE OFFERS For Sale $1,449,000 | 8 4638 Orca Way, Delta 4 Bedrooms l 3 Bathrooms l 2,246 sq.ft. l 1/2 Duplex 3 Bedrooms l 3 Bathrooms l 2,416 sq.ft. l Lot 4,951 sq.ft. $1,429,000 | 4641 55A Street, Delta For Sale NEW PRICE 3 Bedrooms l 2 Bathrooms l 2 Yards | Detached storage shed | 1582 sq.ft. l END unit $899,999 | 4857 55b Street, Delta For Sale

The Geffke

TEAM

JUST LISTED!

SOLDbyGEFFKE TEAM

SPECTACULAR GOLF COURSE & MOUNTAIN VIEWS!

1-LEVEL HOME ON CONVENIENT, PRIVATE LOCATION

1146 - 50TH STREET, TSAWWASSEN ON A 7,388 SQ.FT. CORNER LOT FEATURING 1,390 SQ.FT. with 3 BEDROOMS, 2 BATHS, OPEN BRIGHT LAYOUT. MLS# R2769184

JUST LISTED!

#301-5099 SPRINGS BOULEVARD, TSAWWASSEN RESORT STYLE GOLF COURSE LIVING!

VIEW CRESCENT, TSAWWASSEN SOUTH/EAST VIEWS FROM THE HUGE, COVERED PATIO! 1,600 SQ.FT. - 2 BDRMS / 2 BATHS, CENTRAL LOCATION, BRICK BUILDING. MLS# R2754590.

JUST LISTED!

SOLDbyGEFFKE TEAM

$769,000

SOLDbyGEFFKE TEAM SOLDbyGEFFKE TEAM SOLDbyGEFFKE TEAM

FULLY RENOVATED 1,602 SQ.FT. CONDO! CONCRETE, STEEL CONSTRUCTION, BRICK BUILDING!

#505-1350 VIEW CRESCENT, TSAWWASSEN

$1,319,000

April27,2023 The Delta Optimist A33
Top 10% in SALES of ALL GREATER VANCOUVER for 38 YEARS#1 at ROYAL LEPAGE REGENCY Rlty for 10 YEARS 52 YEARS OF COMBINED EXPERIENCE SELLING SOUTH DELTA! info@geffketeam.com • www.geffketeam.com Johanna 604-719-7345 Medallion Club 30 Years Stefan B.B.A. 604-767-4038 Medallion Club 12 Years Bonnie Ma Assistant Speaks Mandarin & Cantonese
CALL US FOR A FREE MARKET EVALUATION! REGENCY REALTY 1333 - 56th St, Tsawwassen (next to Starbucks) (We speak German, Finnish, Cantonese & Mandarin) JUST LISTED! #106-1375 VIEW CRESCENT, TSAWWASSEN CENTRAL LOCATION! $649,900 READY TO SELL YOUR HOME?
ARE WE! GIVE US A CALL! 604-767-4038
SO
BENEFIT
CLIENTS
BEST VALUE! WE OFFER 100% PERSONAL EXPERIENCE AND SERVICE! JUST LISTED! 6685 3RD AVENUE, TSAWWASSEN NATURE LOVERS’ GALORE! IN THE CLASSIC! $799,000 #514-1350
SUCCESSFULLY SELLING DELTA FOR 38 YEARS! WE ARE WORKING FOR THE
OF OUR
TO GET THE
$645,000
$1,248,800

5083 Linden Drive

Open House Sat 11-1 & Sun 2-4

Ladner – great central location – close to everything – shops, restaurants, transit, school. Fabulous 7555 sf lot with sunny south rear yard – fully fenced & gated. Classic ranch style home 1450 sf on crawl space with 3 bedrooms & 2 bathrooms. Detached living can be affordable! See the virtual tour, visit an open house or call for your private viewing. Call Dean 604.603.8538

58 Tsawwassen Beach Road

This property is the Crown Jewel of Tsawwassenʼs western bluff! South end waterfront with fabulous high bluff engineered home-site featuring fabulous ocean views directed toward the Gulf Islands. Contemporary custom built residence with spacious principal areas, 4 bedrooms and 3 full baths. This is a rare offering – call for your private viewing. Call Dean 604.603.8538

4982 Kadota Drive

Very desirable, quiet yet convenient location close to everything T–Town. The 2710 sf bi-level has 4 bedrooms, 3 baths, and a layout with potential for a great room and secondary suite. Sited on a generous 9983 sf lot with south-facing, fully fenced rear yard. Call Dean 604.603.8538

A34 The Delta Optimist April27,2023 e dbauck@deanbauck.com p 604 603 8538 www.deanbauck.com 1333 56th Street, Delta, BC V4L 2A6 Independently Owned and Operated Broker Real Estate Consultant I’ll Work For You! Regency Realty Ltd Personal Real Estate Corporation call 604.603.8538 Personal Real Estate Corpora�on www.deanbauck.com DeanBauck, RegencyRealtyLtd IndependentlyOwnedandOperatedBroker
New
Listing!
Tsawwassen's Best! $3,288,000 $1,435,000
SOLD $1,080,000

the heart of our business is people.

ladner

113-4768 53 street

2 Bed | 2 Bath | 952 ft2

Welcome to SUNNINGDALE, one of Ladner’s most beloved condo buildings This lovingly cared for and well maintained

2 Bed, 2 Bath, 956 sq ft suite is steps to transit, shopping, recreation & what has become one of the Lower Mainland’s year around hot spots Ladner Village!!! Spacious & well laid out floor plan incl’s both living/dining rooms, large bedrooms, gas fireplace, fresh paint & easy to maintain laminate flooring that’s in great condition West exposed balcony space allows for daily sunsets & a perfect place for your BBQ and potted plants Enjoy having a peace of mind with the benefit of a secure ground floor suite that is elevated 1 floor above street level. 1 parking & 1 storage locker. A special home in a special town!

brad: 604-779-6764

$579,000

frank: 604-862-5731

TSAWWASSEN 123-1792 STARLING DR

2 Bed | 2 Bath | 756 ft2 $549,000

LADNER #106-4745 54A STreet

1 Bed | 1 Bath | 765 ft2

$539,000

south surrey #78-2228 162 street

3 Bed | 2 Bath | 1215 ft2 $819,000

south surrey 17245 3a avenue

5 Bed + Flex | 4 Bath | 3523 ft2 $1,679,000

TSAWWASSEN #505-1400 VIEW CRES

1 Bed | 2 Bath | 959 ft2 $539,000

LADNER #306-4770 52a st

2 Bed | 2 Bath | 1000 ft2 $618,000

April27,2023 The Delta Optimist A35 1333 56 Street, Delta Regency Realty Ltd Independently Owned & Operated
becirrealestate.com
sold sold sold sold sold
sold Connecting agents to the community Reach more home buyers and sellers in your market 604-961-9534 | rewads@glaciermedia.ca
A36 The Delta Optimist April27,2023 Sharon Rohwer 604-760-7163 Unlicensed Assistant info@ thedeltagroup.ca Tim Rohwer 604-762-2041 Commercial Residential Specialist info@ thedeltagroup.ca T h e Delta G ro up . ca Tim & Sharon “We Can Relate” Regency Realty Ltd. 1333 - 56th St , Delta, BC V4L 2A6 REAL ESTATE QUESTIONS? JUST GIVE US A CALL! • Extensively updated 5 Bedroom 4 Bath 2741sf home • Modern back split perfect for family living & entertaining • Beautifully landscaped large 9,064 sunny property with private outdoor living space • Located n the desirable area of THE VILLAGE in Tsawwassen. 4761 Wesley Drive $1,698,000 THE VILLAGE TSAWWASSEN JUSTSOLD MULTIPLEOFFERS Want to Sell? Ask about our `Top Dollar Marketing Plan! Need to Buy? Our `Qualified Buyers’ Program always wins out! • Charming 1643 sf 3 bedroom 2 bath Rancher, move in ready • Sunny west facing 6505sf private garden perfect for outdoor living and entertaining • Highly desirable community just steps from the ocean-beach is just across the road 1539 Beach Grove Road $1,399,900 DREAM HOME IN BEACH GROVE! TSAWWASSEN Gus says: There are no gardening mistakes, only leaves!!!! • Enjoy gorgeous sunsets with Panoramic Ocean views • Beach walks,paddle boarding, kayaking • Spacious 2 bedroom condo with luxury updates • Pets & Rentals allowed TSATSU SHORES TSAWWASSEN COMING SOON 1752 Beach Grove Road 5466 8A Avenue 1666 Beach Grove Road 4442 Arthur Drive, Delta • $1,390,000 This wonderful Sonnenberg-built home has been impeccably maintained and will surely impress. This property is located on prestigious Arthur Drive. This 4 bedroom rancher w/loft residence features 2,738 sqft of living space and sits on a beautiful 8200 sqft waterfront lot with a peaceful slough running behind it. Many extras incl. a kitchen w/quartz counters & glass backsplash, high-end SS appliances, newer roof w/50 year warranty, double wide garage, formal living & dining areas, large master suite w/walk-in closet & ensuite. Interior includes a loft w/extra bedroom & flex space, radiant heating & much more! Centrally located within walking distance to Ladner Village, Memorial Park & both Elementary & High Schools. 237 Morningside Drive PRIVATE, PEACEFUL AND PERFECT WITH VIEWS OF THE MOUNTAINS & FARMLAND. Over 2200 sq. ft. with 3 bedrooms, 3 full bathrooms, double car garage plus over 600 sq. ft. of full-height storage. Move-in ready for you to enjoy this substantially renovated home located in the beautiful Morningsideʼ complex in Upper Tsawwassen. The long list of recent improvements include kitchen, appliances, flooring, gas fireplaces, lighting, finishings, hardware, blinds, paint in & out, hot water on demand, flattened ceilings & all new plumbing including to the city connection. Lower level has x-large bedroom & living area ideal to accommodate extended family. Lower grass area for entertaining & pets. The views and outlook from the main level of this 1/2 duplex style home are outstanding. TWO WORDS: SEE IT! M Allen Schwabe 604-644-5664 seafair.com 1625 56th Street, Tsawwassen 604-943-3110

VIEWS! VIEWS! VIEWS! Homes on Tsawwassen's Bluffs rarely come up for sale....for a reason...the views are stunning! Overlooking the mountains, a golf course and the ocean, this beautiful 3,207 sq. ft. (including solarium) home sits proudly on an almost 11,000 sq. ft. lot This home showcases 4 bedrooms and 3 bathrooms, including a massive ensuite with a large soaker tub that soaks in the views. A huge, fully enclosed solarium capitalizes on the scenery, allowing you to enjoy the views all year round. Call today to arrange a private showing.

April27,2023 The Delta Optimist A37 SOLD SOLD SOLD SOLD SOLD SOLD SOLD SOLD SOLD SOLD SOLD SOLD SOLD SOLD SOLD 3 Bed, 3 Bath, 1,408 sqft Townhouse in Mountain View Village. Recentley renovated. Proudly Calling Tsawwassen & Ladner home for over 40 years! (604) 809 2855 yinglingtom@gmail.com Just Sold $899,000 Just Listed $959,000 #4 2450 Radio Tower Road, Oliver Just Listed $379,000 #408 860 Nicolani Drive, Kamloops 5309 Upland Drive, Tsawwassen #9 7800 Cottonwood Drive, Osoyoos 3 Bed, 3 Bath, 1,512 sqft Lake House. Dock access and Boat lift included 4 Bed, 3 Bath, 2,010 sqft Lake House at Osoyoos Cottages. Excellent Revenue. 2 Bed, 2 Bath, 928 sqft condo in the Brocklehurst area of Kamloops. Just Listed $1,980,000 Just Sold $725,000 #86 36060 Old Yale Road, Abbotsford
Listed by Royal LePage Listed by RE/MAX
SOLD Scan for a Virtual Tour

JUST LISTED

OPEN SUNDAY 2-4PM - 5365 6TH AVENUE, TSAWWASSEN

$1,999,000

Beautiful home in central Tsawwassen, walking distance to schools, sport facilities and parks Home features 5 bdrms, 4 full bathrms, excellent floor plan with large great room & separate living and dining room. This home has a private sunny yard with beautiful jacuzzi and patio area We are priced to sell so don't miss this opportunity to buy a great home in a great area Call ROBIN 604-868-2844

$1,199,000

FABULOUS VIEWS $2,999,000

4950 CEDAR SPRINGS DRIVE LOCATION LOCATION LOCATION!!! One of the best single family homes on Tsawwassen Springs Golf Course with fabulous views of lake and golf course and sunny western exposed yard Home features a great floor plan with 4 bedrooms, 4 bathrooms and Fabulous Great Room that open to beautiful views of Golf course

111 GRAHAM DRIVE BEST SUNSET VIEWS & LOCATION

Custom Designed Home with simply the Best Views in Tsawwassen. This Totally Private 2 Bedroom & Den home has an Outstanding Open Floor Plan to take full advantage of all the spectacular Ocean Sunset Views. There will NEVER be another home like this in Tsawwassen. Call for Floor Plans and more Info.

Call ROBIN 604-868-2844

GORGEOUS 5000 SQ.FT. HOME WITH FABULOUS VIEWS

Featuring 6 bdrms, 6 bathrms, excellent 2 bdrm suite and spectacular rooftop deck This rare find is located on a quiet street with many fines homes in Upper Tsawwassen Home is just totally updated with ouststanding views on a 10,750 sq ft western exposed lot This kind of home does not come to market often, don't miss this one Call for more information

Call ROBIN for info. 604-868-2844

A38 The Delta Optimist April27,2023 ROBIN REIMER 604-868-2844 ROBINREIMER.COM ROBINREIMER@TELUS.NET #1 SOUTH DELTA 37 YRS MLS MEDALLION CLUB* Seafair Realty - 1625 56th Street, Tsawwassen www.robinreimer.com group *BASED ON # OF YEARS QUALIFYING FOR MEDALLION CLUB IN GREATER VANCOUVER REAL ESTATE BOARD 1983, 1984, 1985, 1986, 1987, 1991, 1992, 1993, 1994, 1995, 1996, 1997, 1998, 1999, 2000, 2001, 2002, 2003, 2004, 2005, 2006, 2007, 2008, 2009, 2010, 2011, 2012, 2013, 2014, 2015, 2016, 2017, 2018, 2019, 2020, 2021 & 2022 robinreimer@telus.net
garage
Don't miss
find!!! Call
$2,188,000
lake and wildlife This home is approx 2600 sq ft with an oversized
with room for golf cart and the best location for guest parking
this RARE
ROBIN 604-868-2844

JUST LISTED $1,199,000

OPEN HOUSE SUNDAY 2-4PM

ROYAL OAKS PENTHOUSE #402N-1100 56TH ST, TSAW

Fabulous 3 bedroom penthouse at Tsawwassen's Royal Oaks This rare find has never been on the market and truly is one of the best units in this development Excellent floor plan with huge living, dining area, beautiful bright great room, big master suite and 2 private sunny decks Don't miss this special penthouse Call for your exclusive showing Call ROBIN 604-868-2844

$1,759,000

5368 4A AVENUE

Fabulous views of North Shore Mountains and Boundary

Bay This great 4 bedroom, 3 bathroom home has been extensively updated, recent updates includes an outstanding pool, patio and deck areas Home also features gourmet kitchen which opens to a large great room and deck area that takes advantage of the fabulous views Just move in and enjoy your resort at home

Call ROBIN 604-868-2844

$2,899,000

SPEED'S PUB BACK ON THE MARKET

Fabulous opportunity to purchase one of Ladner's historic family businesses

This great pub is located on Ladner's inner harbour with marine access and potential marine business The business has been great for decades and now is time for another buyer to put their own business ideas and energy to continue this long established pub. Call ROBIN 604-868-2844

$2,199,000

5304 SPETIFORE CRESCENT

Beautiful 5 bedroom, 4 full bathroom home in upper Tsawwassen. This great family home is approx. 2900 sq.ft. with excellent floor plan and finished with high end details throughout Located in an area of newer homes close to schools, parks, transportation with a beautiful southern exposed back yard Call for more information and your exclusive showing

Call ROBIN 604-868-2844

April27,2023 The Delta Optimist A39 Seafair Realty - 1625 56th Street, Tsawwassen www.robinreimer.com group *BASED ON # OF YEARS QUALIFYING FOR MEDALLION CLUB IN GREATER VANCOUVER REAL ESTATE BOARD 1983, 1984, 1985, 1986, 1987, 1991, 1992, 1993, 1994, 1995, 1996, 1997, 1998, 1999, 2000, 2001, 2002, 2003, 2004, 2005, 2006, 2007, 2008, 2009, 2010, 2011, 2012, 2013, 2014, 2015, 2016, 2017, 2018, 2019, 2020, 2021 & 2022 robinreimer@telus.net - 3 new homes in Tsawwassen - 4800 square feet - Legal suite - Customize your new home Call for plans & information ROBIN 604-868-2844 JUST LISTED $2,400,000 - 3250 sq.ft. home in Beach Grove - 5 Bedrooms & 5 bathrooms - Great floor plan - Excellent experienced builder - Lots of time to sell your home - Customize your home ROBIN 604-868-2844 JUST LISTED $2,499,000 JUST LISTED Custom build your new home with Tsawwassen's finest builder on one of the best view lots in Tsawwassen. We have plans of approx 5000 square feet but are open to building your dream home For more information Call ROBIN 604-868-2844

$1,489,000 FamilyhomeintheheartofBeachGrove walkingdistancetothebeachand BeachGroveElementary.

visionfor2flatrectangularbuildinglots,andallbuildingplans havebewensubmittedtothecity Thecurrentfamilyhomehas beenrenovatedandoffersover3,600sqft oflivingspacefora familythatchoosestokeepthelotasiswithswimmingpool& park-likesetting.

investor.

1178WalaleeDrive $1,649,000 Oceanviewsfrommainfloorliving.Parklikegardenlot withover14000sqftofgardens,oversizeentertainment deckandspaciousrooms Doublegarageandlotsofroom forrecreationalvehicleparking.

5129WilsonDrive $2,995,000 Newcustombuilthomewithoutthe GST,executive,luxuryentertainment homeinprimelocation.

$639,000 Topfloorpenthouse2bdrmandden offering1450sqftoflivingspace

A40 The Delta Optimist April27,2023 604.312.7621 Sold@TrishaMurphy.ca TOP 1% OF 2022 GREATER VANCOUVER REALTORS® 15 YEARS • SUCCESSFULLY SELLING SOUTH DELTA REAL ESTATE • Sutton Group - Seafair Realty: #2-1359 56 Street, Tsawwassen, BC V4L 2P3 Lulu Godin Licensed Realtor & Marketing Specialist DynamicMarketing•ExpertContractKnowledge ExperiencedNegotiatingSkills 598TsawwassenBeachRd$5,498,000 Panoramicoceanfronthomeon1.3of Acreofferinganamazinglifestyle. 5000CliffDrive
102-128055Street $765,000 Sandpiperbuildingintheheartof Tsawwassen.Over1400sq.ft with3
4533WRiverRoad $1,399,000 Thisisauniqueonceinalifetime
$2,995,000 This28,000sqftlotisintheprocessofapplicationforsub-di-
patios.
opportunityforanownerand/or
NEWPRICE
JUSTLISTED
JUSTLISTED 54785BAvenue $1,399,000113650thStreet $1,499,000 5157KilkennyDrive $1,749,000 878PacificDrive $2,499,000 1576PineSpringsLane $1,699,000 601-5011TsawwassenSprings $1,218,000 6003KirkwoodRoad
JUSTLISTED
304-117255thStreet

305 19645 64 Avenue - Langley

Marketed

2 | 2 | 1139 ft2 | $549,000

Sought after & rarely available TOP floor beautifully renovated unit at HIGHGATE TERRACE. 2 large bedrooms & 2 fully renovated baths, an open refreshed kitchen w/newer appliances & countertops. Vinyl floors, + new lighting throughout, 14 ft. vaulted ceilings in the living room & curved oversized window. Private extra big south facing balcony. In suite laundry w/new machines. Oversized storage locker on the same floor & 1 secured underground parking spot. Well run strata w/lots of social activities & amenities incl. workshop, social room & library Walk to shops, restaurants & transit. 1 smaller pet allowed. Best value in town!

Marketed

Marketed

Marketed

Marketed

Marketed

Marketed

April27,2023 The Delta Optimist A41
5433 Wallace Ave Tsawwassen by Keller Williams Ocean 15089 Eagle Place Surrey SL 71 Unit 310 West Coast Estates By Executive Group 102 15270 17 Ave South Surrey by Royal LePage West SL 56 Unit 203 West Coast Estates By Executive Group 19 50th St Tsawwassen SL 5 Unit 106 West Coast Estates By Executive Group 1620 53A St Tsawwassen by MacGregor Realty 303 15241 18 Ave South Surrey SL 6 Unit 85 Ocean Row Boardwalk
address here! Contact Amber & Jennifer for a complimentary home evaluation New Listing
by Rennie Marketing Systems 108 4926 48 Ave Ladner
Your

4725 45A AVENUE

• UPDATED, SPACIOUS 2445 SQ. FT 2-LEVEL HOME

• OFFERS 5 BEDROOMS, FAMILY ROOM AND 3 BATHS

• POTENTIAL FOR 2 BEDROOM SUITE, IF NEEDED

• WALK TO BOTH SCHOOL LEVELS & LADNER VILLAGE • ALL DRESSED UP AND READY TO ENJOY

6269 BRODIE ROAD

• UPDATED RANCHER

• NEW KITCHEN WITH GAS RANGE

• OPEN CONCEPT LIVING WITH HIGH CEILINGS

• COVERED PATIO

• SUNNY BACKYARD

SIDE BY SIDE DUPLEX

5529 MAPLE CRESCENT

• RARE OPPORTUNITY TO OWN A FULL DUPLEX

• LARGE 90 X 100 LOT WITH POTENTIAL FOR SUBDIVISION

• PRIVATE BACK YARD OFFERS COVERED DECKS FOR ENTERTAINING

• OFFERS 4 BEDROOMS, FAMILY ROOMS & 2 BATHS ON EACH SIDE

• NEWER ROOF, DRIVEWAY AND OTHER UPDATES

5089 59A STREET

• SOLID 2 LEVEL ON PRIVATE LARGE 75' X 100' LOT

• OFFERING 3 BEDROOMS, FAMILY ROOM, AND 2 BATH

• R.V PARKING WITH SIDE ACCESS TO THE REAR YARD

• LOCATED ON QUIET STREET IN HAWTHORNE SCHOOL NEIGHBOURHOOD.

• GREAT STARTER HOME OR HOLDING PROPERTY

A42 The Delta Optimist April27,2023 5108 LINDEN DRIVE • LUXURIOUS CUSTOM BUILT HOME • UNBEATABLE CENTRAL WEST LADNER LOCATION • 3 LARGE BEDROOMS. 4 BATHROOMS • FUNCTIONAL OPEN CONCEPT FLOOR PLAN WITH HIGH END FINISHED THROUGHOUT 4903A 53 ST - NEW COACH HOMES • 4/5 BEDROOM + DEN & FAMILY ROOM-MAIN HOUSE • SEPERATE 1 BEDROOM COACH HOME WITH LAUNDRY • QUAILTY BUILDER WITH 2-5-10 NEW HOME WARRANTY • CONVENIENT CENTRAL LADNER VILLAGE LOC • PRICED TO SELL AT $1,899,900 $1,899,900 5092B BENTLEY DRIVE • 3281 SQ. FT FAMILY FRIENDLY HOME • OVER 7700 SQ. FT PRIVATE LOT • 216 SQ. FT DETACHED HOME OFFICE • 1 BEDROOM LEGAL RENTAL SUITE • ALL BEDROOMS WITH ENSUITE BATH • SOUGHT AFTER CENTRAL WEST LADNER LOC 5382 CRESCENT DRIVE • LUXURIOUS 6,700+ SQ.FT CUSTOM HOME ON PARK LIKE 20,000 SQ.FT LOT • CENTRAL WEST LADNER LOCATION, WALKING DISTANCE TO ALL MAJOR AMENITIES • 2 BEDROOM SELF CONTAINED SUITE WITH OWN LAUNDRY • DETACHED 900 SQ.FT SHOP AT THE REAR OF THE PROPERTY 102-4758 53 STREET • 2 BEDROOM CONDO • WALKING DISTANCE TO LADNER VILLAGE • 1 SECURE PARKING AND STORAGE • PRICED TO SELL AT $549,900 $529,900 3-5053 47 AVENUE • 4 BED 3 BATH TOWNHOUSE IN LADNER VILLAGE • WALKING DISTANCE TO ALL MAJOR AMENITIES INCLUDING SCHOOLS, PARKS AND SHOPPING • BRIGHT SUNNY SOUTH EXPOSURE, TURNKEY LIVING AND RECENT UPDATES • 2 CAR GARAGE WITH LANEWAY ACCESS. 2 LOT SUBDIVISION • APPROVED 2 LOTS SUBDIVISION FOR TWO RS7 LOTS, • SUBDIVISION HAS 3RD READING APPROVAL FROM CITY OF DELTA • SOLID 3 BEDRM RANCHER IN GREAT CONDITION, WITH DET GARAGE • PRIVATE SOUTHWEST
IN CENTRAL
LADNER
TO HAWTHORNE ELEMENTARY SCHOOL
VILLAGE.
CALL PAUL FOR AN INFORMATION
CORNER LOT
WEST
• WALK
& LADNER
PACKAGE.
• PRIME HOLLY LOCATION 5094A BENTLEY DRIVE • 5 BED 5 BATH • 3 STORY LUXURY HOME WITH LARGE FLEX ROOM & FULL BATH ON TOP FLOOR • QUALITY DESIGNER FINISHES THROUGHOUT • FUNCTIONAL OPEN CONCEPT FLOOR PLAN • DESIRABLE BENTLEY DRIVE ADDRESS • WALKING DISTANCE TO LADNER VILLAGE AND HAWTHORNE ELEMENTARY 5094B BENTLEY DRIVE • 5 BED 5 BATH • 3 STORY LUXURY HOME WITH LARGE FLEX ROOM & FULL BATH ON TOP FLOOR • QUALITY DESIGNER FINISHES THROUGHOUT • FUNCTIONAL OPEN CONCEPT FLOORPLAN • DESIRABLE BENTLEY DRIVE ADDRESS • WALKING DISTANCE TO LADNER VILLAGE AND HAWTHORNE ELEM 5503 COVE INLET ROAD • 4 BED 4 BATH • 2 CAR GARAGE WITH 220V EV SERVICE • PRIVATE BACKYARD • PRESTIGIOUS MARINA GARDENS NEIGHBOURHOOD • GOLF COURSE VIEWS • WALKING DISTANCE TO PARKS, TRAILS, SCHOOLS AND LADNER VILLAGE JUSTSOLD JUSTSOLD 6-4887 CENTRAL AVENUE • 3 BEDROOM TOWNHOME IN POPULAR "CENTRAL PARK" • LOADED WITH STAINLESS STEEL APPLIANCES • OFFERS 9 FOOT CEILINGS ON MAIN FLOOR • COZY FIREPLACE, GAS STOVE, SECURITY SYSTEM • DOUBLE CAR GARAGE WITH HEAT & EPOXY COATING • LOCATED ACROSS FROM TRENANT PARK MALL JUSTSOLD JUSTSOLD JUSTSOLD 5085 CENTRAL AVENUE • 5 BED 6 BATH • 3 STORY LUXURY HOME WITH LARGE FLEX ROOM & FULL BATH ON TOP FLOOR • FUNCTIONAL OPEN CONCEPT FLOORPLAN • QUALITY DESIGNER FINISHES THROUGHOUT • CENTRAL WEST LADNER LOCATION • WALKING DISTANCE TO LADNER VILLAGE AND HAWTHORNE ELEMENTARY OPEN SUNDAY 2-4PM OPEN SUNDAY 2-4PM

310-15300 17 Avenue

South Surrey • $639,900

Spacious & UPDATED 1410 SF 2 bed condo in quiet & well run complex with new boiler, newer roof, updated common areas - walk to Semiahmoo Mall, transit, medical, coffee shops!!!

120-1840 160 Street

South Surrey • $248,800

BREAKAWAY BAYS - updated 2 bed manufactured home in very desirable park & location - monthly pad rental includes outdoor pool, clubhouse & fitness rm - mins to White Rock shops & beach!!!

Tsawwassen • $1,449,000

Spacious & meticulously maintained 3049 SF 6 bed home on private & SUNNY 11109 SF west exposed lot on quiet street - walk to schools, parks, transit & town center!!!

April27,2023 The Delta Optimist A43 Sutton Group - Seafair Realty - Unit 2 1359 56 Street, Tsawwassen, BC THINKING OF
MOVE???
US!!! SERVICE THAT
YOU!!!
Gale Drive
A
CALL
WILL MOVE
931
LOT!!!
SUNNY WEST
NEW PRICE!!!
NEW LISTING!!! 5311 10A Ave, Tsawwassen 28 Woodland Dr, Tsawwassen 5880 Plover Crt, Richmond 4719 48B St, Ladner 2310 Dolphin Rd, N. Saanich 2502-3438 Sawmill Cres, Van Listed by Oakwyn Realty Ltd. Listed by Wesgroup Realty Ltd Listed by Sothebys International Realty SOLD!!! SOLD!!! SOLD!!! SOLD!!! SOLD!!! JUST SOLD!!!
Springs Blvd Tsawwassen • $585,000
of golf course & NS mountains -
1 bed condo
plan & large
deck
ideal outdoor living & entertaining space! Resort style living atT Springs!!!
Skana Drive Tsawwassen
gym
in ready’ home!!!
GC
211-4977
VIEWS
spacious
with open
covered
overlooking golf course -
1112
• $1,798,000 Beautifully RENOVATED 2974 SF 6 bed home on private & SUNNY 9200 SF lot on sought after Skana Drive! Space for home office &
in this stunning ‘move
BEAUTIFULLY RENOVATED!!! SPACIOUS DECK!!!
& MTN VIEWS!!! PRIVATE SUNNY LOT!!!

Port Guichon! Cute and cozy Cape-Cod style home. Sunny South exposed 6900 sq. ft. lot. Loads of parking with room for the boat or R.V Great floor plan with two bedrooms on the main, 2 bedrooms up and an open plan kitchen, eating area and family room that open to the entertainment sized patio There is also a large 10’6 x 14’6 shed/workshop that could easily be used for a mancave or she-shed EV Charging Station in the carport Power cord not included Close to Port Guichon Elementary, Ladner High School and everything that Ladner village has to offer. Put this on your must see list!

A44 The Delta Optimist April27,2023 S E R V I N G A L L Y O U R R E A L E S T A T E N E E D S S I N C E 1 9 8 4 a Rea Sea 604 946 1255 ■ BarryChreptyk com Barry Chreptyk Sutton Group Seafair Realty #100-5000
2K4 604.946.1255 ■ BarryChreptyk.com ■ barryrc@uniserve.com An independent Member Broker Sea a Rea “LADNER”
JUST LISTED @ $1,299,000 sutton group seafair realty #100-5000 Bridge Street Delta, BC V4K 2K4 MEDALLION CLUB MEMBER 2018, 2019 & 2020 Vicky Hamilton Personal Real Estate Corporation
com
com SOLD 4805 Turnbuckle Wynd | TWO LEVEL TOWNHOUSE!! Welcome home to this beautifully updated 3 bedroom, 1 bath home located in Harbourside! Updated through-out, this 1048 square foot unit offers a bright and functional layout on the main floor with bedrooms upstairs Updates include: kitchen appliances, flooring new bathroom, hot water tank, & more Enjoy the private fully fenced yard with gate access to the common greenspace Ideal for first time buyers, growing families or downsizers SOLD 4501 Dawn Place | LOCATION! Nice y updated 5 bdrm 2800 sq ft executive home on desirable Dawn Place Perfectly suited for growing family with great ayout & tons of natural light Updates include: kitchen & powder room (2016), roof (2010) furnace & exterior paint (2017) Add tional updates include interior/exterior stonework driveway, garage doors, wood mantles, hardwood flooring and bathrooms Main floor features traditiona floor plan with updated kitchen quartz counters & arge island plus eating area which opens to a spacious but cozy fam ly room Liv ng/Dining room powder laundry & 5th bdrm complete the main floor SOLD 113 - 4770 52A Street | Westham LaneFantastic 1 bedroom and den with an open layout, 939 sq ft Spacious master bedroom with huge walk-in closet and cheater ensuite Ground floor suite with large (10x10) covered patio looking out to the private courtyard Tons of storage throughout, 1 parking space, storage locker, new roof in 2022 Centrally located close to all amenities, shops, restaurants, recreaton and Ladner Village MEDALLION CLUB MEMBER 5 YEARS 778-863-6805 mandip@sutton.com mandipgill com Sutton Group - Sutton Seafair Realty 100 - 5000 Bridge Street Delta, BC, V4K 2K4 Absolutely stunning brand new family home with serene farmland views located on rarerly available and highly sought-after Whitworth Cres! This home boasts 3,700sqft of living space with 4 beds, 6 baths, a spacious open concept and a beautiful kitchen! 5190 Whitworth Cres S, Ladner $2,549,900 NEW LISTING K A K E N D A L L A Y R E S R E A L E S T A T E 604.250.6981 INFO@KENDALLAYRES COM KENDALLAYRES.COM Sutton Group - Seafair Realty 100-5000 Bridge Street, Delta, BC 401-5099 SPRINGS BLVD Tsawwassen $689,000 Welcome to the beautiful and sought after TSAWWASSEN SPRINGS! This one bedroom plus den, south facing, penthouse condo offers 9’ and vaulted ceilings and plenty of natural light. You will find luxurious and stylish details throughout including a custom California Closet, California shutters, granite countertops, Fisher & Paykel appliances, Miele washer and dryer, geothermal heating and cooling and much more. Other features include: large patio complete with gas hookup new paint and carpet, 2 parking stalls, in-suite storage, golf course views, close to shops, golf course and pro-shop, coffee shops, Pat Quinn’s Restaurant and fitness and wellness studio. FORSALE 5926 183 STREET Surrey $1,329,900 “PRIVACY - DO NOT SOLICIT” WELCOME HOME! This lovely cul-de-sac located home has plenty to offer including three bedrooms, two and a half bathrooms and an open concept, main floor with room for the family and/or entertaining. Showcasing a beautifully updated kitchen with a large island that opens to the living and dining rooms and a family room on the lower level extends to the private and fully fenced backyard. Other features include, air conditioning, new exterior paint, air-conditioning, ample storage, new lighting, newer fence, new flooring, updated windows with trim and more. Centrally located close to shops, restaurants, recreation and more. Steps to Martha Currie Elementary and Lord Tweedsmuir. JUSTSOLD
Bridge Street, Ladner, BC V4K
cell 778-839-8947 ce 604-946-1255 vicky@homeswithvicky
www.homeswithvicky

Your Community

MARKETPLACE

Ca l or email to place your ad, Monday through Friday 8:30am to 4:30pm 604-362-0586 • 604-653-7851

dtjames@glaciermedia.ca • nmather@glaciermedia.ca

Book your ad onl ne anyt me at delta-optimist.adperfect.com classifieds.delta-optimist.com

CELEBRATIONS

BIRTHDAY

Happy 100th Birthday

Miss Rennick!

Betty (Rennick) Logan

Born Apri 29th, 1923 in Bright, Ontario

Daughter, Nurse, TCA Stewardess, Wfe Mother, Grandmother, Great-Grandma Curer, Gardener, Dog Lover, Birdwatcher Vounteer, and most especially a Friend!

OBITUARIES

Celebrate with a Birthday Greeting in the classified section!

Delta-Optimist.com

REMEMBRANCES OBITUARIES

ADVERTISING POLICIES

All advertising published in this newspaper is accepted on the premise that the merchandise and services offered are accurately described and willingly sold to buyers at the advertised prices. Advertisers are aware of these conditions. Advertising that does not conform to these standards or that is deceptive or misleading, is never knowingly accepted. f any reader encounters non-compliance with these standards we ask that you inform the Publisher of this newspaper and The Advertising Standards Council of B.C. OMISSION AND ERROR: The publishers do not guarantee the insertion of a particular advertisement on a specified date, or at all, although every effort will be made to meet the wishes of the advertisers. Further, the publishers do not accept liability for any loss of damage caused by an error or inaccuracy in the printing of an advertisement beyond the amount paid for the space actually occupied by the portion of the advertisement in which the error occurred. Any corrections of changes will be made in the next available issue. The Delta Optimist will be responsible for only one incorrect insertion with liability limited to that portion of the advertisement affected by the error Request for adjustments or corrections on charges must be made within 30 days of the ad’s expiration. For best results please check your ad for accuracy the first day it appears. Refunds made only after 7 business days notice!

CARTER (Baase), Marilyn A.

December 22, 1931 April 7, 2023

Mom passed peacefully at home at the age of 91. Born in Creston, BC, growing up in the Okanagan and New Westminster, she lived most of her life in Tsawwassen. She stayed busy gardening, sharing her garden bounty, connecting, playing the sax, singing in the church choir, and supporting the Lutheran Women’s Missionary League, Lutheran Bible Translators, Creation BC, Delta Hospice Society, and Saviour Lutheran Church (Ladner)

Predeceased by her husband (John), four brothers, and two sisters. Survived by brother Robert Baase; children Jim, John, Richard, and Carol Carter; and grandchildren Kayla and Evan Wirth.

A memorial service will be held Saturday, June 24, at 11:00 a.m. at Saviour Lutheran Church, 4737 57 St, Delta, BC. In lieu of flowers, donations may be made to any of the above charities or a worthy cause of your choice. Mrs. Carter would smile

BRADLEY, Mike

January 28, 1928

April 20, 2023

Richard Michael (Mike) Bradley died on April 20, 2023, at the age of 95, at Sunrise of Vancouver, where he had lived for the past year and 9 months after moving from his long time home in Tsawwassen.

Mike was a charming, charismatic, decent and kind gentleman who could also wield a mischievous sense of humour. He loved his family, his friends and his wondrous flying careers.

Mike was predeceased by his brothers and sisters and by his wife of 58 years, the amazing Mollie, who he loved beyond measure. Mike will be greatly missed and remembered by many friends and by his family, including his daughter Amanda and her partner Jim, sisters in law Nancy England and Rachel Bradley, nieces and nephews, and his dog Sumi.

For messages of condolence, please go to korucremation.com/obituaries.

A celebration of life will be held at a later date. If you wish to make a memorial donation, please consider the BC SPCA or your local animal welfare organization.

MaytheSunshineofComfort DispeltheCloudsofDespair

MALLOY, Margaret Maud Gallop (nee Eustace)

With heavy hearts, we announce the passing of Margaret Maud Galop Maloy (nee Eustace) “Ganny” on March 10, 2023

Margaret is survved by her loving husband of 69 years, Murray; children Richard, John, Chris (Elaine) and Heather (Warren); grandchldren Braeden, Spencer, Stephane, Aexandra, Jackson and Keenan; great-grandchildren Lea and Micah, as wel as many, many dear friends

Born September 18, 1929 in Halfax, Nova Scotia, Mom was a proud Maritmer even after settlng n Tsawwassen in 1973 If ever asked where she got anythng, her answer “A M Bel Hardware!” or “up n Nanny’s room!” - a true testament to her Martime roots

She was a long tme member of St Davd’s and Al Saints Anglican Churches, as wel as a competitve member of Beach Grove Golf Club She was an avid swimmer, loved gof and watching curlng Even nto her 90s, would take her golf cart to play 9-hoes wth her “Friday Lades” and end up at the Clubhouse for unch and wne

Mom was known affectonately as “Ganny” by her grandchildren most recently, her great-grandchldren At the age of 93 Ganny was stil chasng the greatgrandchildren around the yard or giving rides in her golf cart Her grandchildren and great-grandchldren brought her oy

Mom lived a ong happy life and wil truy be mssed Her spirt was stubborny strong and she wl live on n the memories of al those she touched

Her family would like to thank the Delta Hospita, where she was a 30 year volunteer wth the Auxillary, and the Irene Thomas Hospice teams for ther compassionate care durng her short stay

In leu of flowers, pease consider donating to Deta Hospita or the Irene Thomas Hospce

April27,2023 The Delta Optimist A45

DUGMORE, Barbara Mary

April 15, 1929

March 24, 2023

It is with heavy hearts that we announce that Barbara passed away suddenly at Delta View Care Center in her 93rd year.

Barbara was born in Burton on Trent, England, where she was an avid cyclist and netball player before she immigrated to Canada after meeting her husband, Ron. Ron and Barb spent many years in Calgary, where she worked as a secretary and enjoyed her home and many friends. In 1972, they moved to Tsawwassen to enjoy the milder climate, where Barbara worked at Westshore Terminals for 17 years. In Barb’s 30 years of retirement, she and Ron travelled the world and golfed Golfing was Barb’s favourite pastime, and she enjoyed the social coffee in the clubhouse just as much as the game itself. Barb was also an avid bridge player and formed some amazing friendships with her bridge club over a span of 40 years.

Barbara was predeceased by her husband, Ron, in 2021 She is survived by her brother Colin (Jill); children Richard (Aihua) and Gillian; grandchildren Lee (Christina), Kelli (Carey), Max and Jenna; and great grandchildren Samantha, Kaiya and Cameron.

Barbara will be remembered for her generosity, her sarcastic wit and the vibrant smile that lit up her face whenever she was surrounded by friends and family.

A family celebration of life will be held at a later date.

PRIOR, Mary

February 16, 1929 - April 17, 2023

It is with great sadness that we announce the passng of Mary Pror on Aprl 17, 2023

Mary was born n Smoky Lake, Alberta in 1929 and was predeceased by her parents Nickyfor and Eva Sochatsky, her husband Patrick Prior and son Leonard

Mary worked for posta service for many years Her passon was bridge, gardening, and cookng all of which she dd wth a zest for ife

Mary is loved and mssed by her sons Wes (Betsy) and David (Suzanna Fontaine) She wil be greaty missed by her granddaughters Regan, (Davide Xausa) and Jordan, (Gen Bott) as wel as her great grandchidren, Hudson, Grayson, and Sloane

A heartfelt thank you from the famly to the staff at Irene Thomas Hospice for ther kndness and compasson

No flowers or service by request

Donations if wished, can be made to the Irene Thomas Hospice n Ladner B C

Condolences may be offered at www detafuneral ca

Delta Funeral Home (604)946 6040

STEEL, Ronald Hugh

June 16, 1937 April 15, 2023

It is with great sadness we announce the passing of Ronald Hugh Steel on April 15, 2023, at the age of 85, with his wife Sharie by his side.

Predeceased by his parents Hugh and Ada Steel, brother Tom, infant son Mark and son in law Joe Veres. He will be remembered and sadly missed by his loving wife of 56 years, Sharie; daughter Lori Veres; sons Brian (Lisa), Doug (Marilyn) and Darin (Jennifer); and six wonderful grandchildren, Cory, Danielle, Jerrica, Brandon, Madison and Allie along with great grandson Ethan.

Ron’s loveliest talent was his whistling, and boy, could he whistle to the most treasured of his tunes. Ron’s love of music came from his much loved Uncle Archie (Steel), who would take him to see the plays at Queen Elizabeth Theatre. Ron was born in Vancouver and was a proud graduate of Kitsilano High School. Ron enjoyed a long, successful career in the flooring industry, and he always remarked that he worked with and for the best Hal H. Paradise, Beatty Floor and BC Hardwood Floors. Ron was honoured to serve as President of the BC Flooring Association from 1975 1976. He enjoyed helping with the sports his children were involved in, assistant coaching or helping in any way he could. Ron was so proud to coach his girl’s soccer team, The Beatty Floor Babes, taking them to the 1977 Provincial finals in Edmonton. The generous sponsorship of Beatty Floors made it possible for the team to play for many years. The 1977 team was inducted into the Delta Sports Hall of Fame in 2013. Coach Ron Steel was proudly inducted into the Delta Sports Hall of Fame in 2017.

Ron’s love of family and the joy, love, and laughter that we shared when we got together was our biggest pride and joy. Ron always commented, "Sharie, we are so lucky, so fortunate." Ron was always so grateful for anything you did for him.

A very special thank you to Dr. Klammer what a blessing, and, in Ron’s words, "we are so blessed to have her."

From your beloved wife, Goodnight, Magoo. I love you. Till we meet again...

WANG, Chung Yi (Sam)

December 1, 1941 April 16, 2023

Sam died peacefully at Surrey Memorial Hospital on April 16, 2023, in Surrey, B.C., at the age of 81.

A funeral is scheduled for 3:00 p.m. on Thursday, April 27, 2023, at Ocean View Funeral Home (4000 Imperial Street, Burnaby, BC). All are welcome to attend and celebrate Sam’s life. The family would like to thank everyone for their love and support during this difficult time.

Condolences can be sent to www.oceanviewfuneral.com

The family honours Ron’s wishes of no service.

A46 The Delta Optimist April27,2023
OBITUARIES Fond memories linger every day, Remembrance keeps them near. Celebrate the lives of loved ones with your stories, photographs and tributes on legacy.com/obituaries/ deltaoptimist
REMEMBRANCES
Celebrateall your family occasions inthe Mike&EricaBrownear thrilledtoannounce arrivaloftheirbeautifulbaby NathanJohn Browne bornJune20th,2006at9:44p.m.weighing8lbs 9oz.thankWewouldliketosendaspecial yout Dr O'Hare Hannah,Susanandthewonderfu nurses atRidgeMeadowsHospitalforall theirhelpandsupport. Happy Birthday! Bobby Erickson wants all his friends to know he made it to the September 19, 1947 –September 19, 2007 BIG 60 BIG Thefamiliesof &MeganWhiteDanielHunter Arepleasedtoannounce totheirengagementwhich okplace May20,2007whileinHawaii. Cong atulations M gan & Dan e Weddingtotak placeMarch9,2008 Congratulations RobinNaomisonU.BC Gradua B chelo so S ence,Deans L at ndingLawSchoo U.BC.all2007Love om ll your am Wearesoproud ofyou! Mom&Dad (Grandma&Grandpa All ourLove Rick,Susan, Kate&Brian Happy Anniversary50th 604-630-3300 Delta-Optimist.com 604-362-0586 delta-optimist.com

COMMUNITY

ANNOUNCEMENTS

LOW COST Cremation Packages Available. URN’s starting at $89

$99

Arrangements made in the comfort or your home, our office, by email or fax for your convenience

No pressure sales or commission

Bakerview only provides what you ask for.

We are here to help every step of the way

Call: 604-574-8822

Email: Bakerview@telus.net

Head Office

34863 Cemetery Avenue, Mission, BC Community Crematorium & Celebration Centre Ltd

Crematorium & Celebration Centre Ltd.

PETS

SUDOKU

www.bakerviewcrematorium.com

DOG WALKER and SITTER

7 days/wk

Dog Wakng Certificate and Pet Frst Ad course, can work wth aggressve’s Ref’s ava ns’d, bonded Joe, 778-325-3659 Joeysdogwakng com

GARAGE SALES

FINAL MOVING SALE Tsawwassen

NEW tems, LOWER prices, EVERYTHING must go: art ant ques decor furniture books DVD CD Vinyl etc.

Sat, Apr 29, 9am 6pm 5040 10A Ave, Delta

LEGAL

LEGAL/PUBLIC NOTICES

NOTICE OF INTENT TO EXERCISE REPAIRMAN’S LIEN ACT

Walker Heavy Duty Ltd

Intends to sel the folowing for arrears of vehcle repairs amounting to $15,501 43 plus any additional costs of storage that accrue

Registered to: James Regions

1986 Kenworth Tractor

Serial Number: 2XKEDB9X3GM812075

To be sold by Walker Heavy Duty Ltd

Unt 101 - 7063 Venture Street Delta, BC V4G 1H8

Phone: 604-940-9545

Available for sae on or after May 4, 2023

MARKETPLACE

Business For sale

Specialty Retail Food Store for Sale $449,000

The store has been in business for 40 years Huge select on of take home prepared meals, which adds to the un queness of the store This is a fa mous store in the community in a great location

One owner retiring and second owner may man age f a reasonable term of employment can be negotiated.

SDCF Normalized Cash Flow $106,338

Asking Price for Shares $449,000

Contact Bob Hughes, Astra Business Corporation

T 604.240.6164 E bhughes@abc astra.com www.abc astra.com

SPRING SALE !!!

Saturday Sale

Apri 29 • 9am - 4pm 1189 53A Street

TSAWWASSEN Antques, Colectbes, Restored Furn , Toos, etc

c assifieds de ta-optimist com

Sudoku puzzles are formatted as a 9x9 grid, broken into nine 3x3 boxes. To solve a Sudoku, the numbers 1 through 9 must fill each row, column and box. Each number can appear only once in each row, column and box. You can figure out the order in which the numbers will appear by using the numeric clues already provided in the boxes.

April27,2023 The Delta Optimist A47
1 It’salloverthebeach 5 Acirque 8 Corpusclecount (abbr.) 11 Influentialreport author 13 Satisfaction 14 Recurringonlyat longintervals 15 Islamiccalendar month 16 Neither 17 Gelatinoussubstance 18 Americanelectronicmusicproducer 20 Oldcomputer system 21 Professionalorganization 22 Malariamosquitoes 25 Notcomposedof matter 30 It’sintheocean 31 Peyton’slittle brother 32 Frenchcommune 33 Eyelashes 38 Equal(prefix) 41 Qualityoflittleor norain 43 Onewhobeheads 45 Sungto 48 Influentialpunk artist 49 Amountoftime 50 Poliovaccine developer 55 Abba ,Israeli politician 56 Job 57 Flat-bottomed sailboat 59 Japanesewooden clog 60 Folksinger DiFranco 61 FLcity 62 Naturallyoccurring solid 63 LanguageofindigenousAsianpeople 64.Darkbrown 1 SovietSocialist Republic 2 Zoroastrianconcept ofholyfire 3 Venomoussnake genus 4 Uninteresting 5 Straightforwardness 6 Expressionofwild excitement 7 Arrangeinorder 8 EastIndiancereal grass 9 Hillsides 10 Birdbeakcovering 12.Baseballstat 14 Edgeofasurfboard 19 Wrapping accessory 23 Expressapproval 24 Deduce 25 Similar 26 Born of 27 Automobile 28 Obligedtorepay 29 Livein 34 Influential journalistTarbell 35 Setaflame 36 OJtrialjudge 37 Scottishtown 39 Africannation 40.Egg-shapedwind instrument 41 Mimic 42 Frees 44 Inslowtempo 45 Sword 46 Relatedonthe mother’sside 47 Marscrater 48 Plantofthelily family 51 Suitableinthe circumstances 52 Hillside 53 Metricalfoot 54 Amazonriver tributary 58 Adultmalehuman DOWN ACROSS FOR HE’S A JOLLY GOOD FELLOW! Share the love. 604-362-0586 Find in the Classifieds! Lost? Garage Sale Season is here! it’sthattime ofyear again classifieds.delta-optimist.com
PUZZLE ANSWERS ON SEPARATE PAGE

@hotmai com

FencIng

LADNER; QUALITY CEDAR FENCING, Insta aton, removal 604-940-1441 604-518-7510 qualitycedar@icloud com

FlooRIng Hardwood Floor Refinishing Experts • Repars • Stanng • nsta ation

• Free Estmates 604-376-7224 centuryhardwood com

gutteRs

BOUNDARY BAY WINDOW WASHING

• Exterior house cleaning

• Pressure washing

• Gutters

Steve Watts 604-943-4134 778-228-5639

HandypeRson

gutteRs

A48 The Delta Optimist April27,2023 HOME SERVICES classifieds.delta-optimist.com Toadvertisecall 604-362-0586 Need help with your Home Renovations? Find it in the classifieds! LOOK to Home Services in the classifieds Need a Painter? CALL Today for Winter DISCOUNTS! GUTTERS • REPLACEMENTS • DOWNPIPE • LEAF GUARD • DRAIN GUARD • SIDING Commercial & Residential Free Estimates Gutter Specialists. Licensed. WCB Insured. 604-724-5493 • 604-721-0372 • a1guttersltd@gmail com RENTAL apaRtments/ condos FoR Rent Choose your Apartment Rental from one of our well maintained and managed buildings in South Delta: Rental Office 604 948 9111 Inqu re about some of our Pet Friendly buildings Please visit our website for availability: barbicanpm ca Sorry, no BBQs permitted Reference required ----------------------------------A Division of Century Group Houses FoR Rent LADNER, near Ladner Eem School Upper flr, 3 BR, all appls No pets $2500 Avail now Nck 604-328-2092 oFFIce/RetaIl FURNISHED Councillor/Therap st Office in professiona bu ding for rent in Ladner Village, available now Includes 1 covered parkng Opportunty for shared rental, Part &/or F/T hours Rent negotiabe Call Ben to discuss, 604-313-2787 stoRage U STORE ITU LOCK IT 3 Self Storage Buldings n Tsawwassen to serve you Various szes avalabe Contact us at: 604-424-9977 Storage@BarbicanPM ca For more details visit: BarbicanPM ca/Storage cleanIng Res dential C eaning Service Week • Bi-Weekly • Monthly Move In • Move Out Sophia • 604-805-3376 www pumacleaning com SUNSHINE CLEANING “you’ve tried the rest, now try the best ” Move Ins - Move Outs, Weekly • B-Weeky • Monthy Starting @ $120 cleanings • Window Cleaning • Work guarantee Exc refs 604-716-8631 dRaInage DRAIN Tiles, Sewer, Water, Video Inspection, Jack Hammering, Hand Excavating, Concrete Cutting, Rootering, WET BSMT MADE DRY 604 782 4322 dRywall DRYWALL Reliable Work *Res & Comm *35 Yrs Exp Mike 604-789-5268 electRIcal A CLASS ELECTRICIAN Licensed LEL029900 Small Jobs, Free Est 7 days - 9 am - midnght Dave, 778-230-0619 YOUR ELECTRICIAN Lc#89402 nsured Guar’d Fast same day service We love BIG & small jobs! 604-568-1899 goldenleafelectrical com FencIng West Coast Cedar Installations s nce 1991 New • Repaired • Rebuit Fences & Decks 604-788-6458 (no text) cedarnsta
HANDYMAN • RENOVATIONS •Ktchen •Bath • Pumbing •Countertop •Foors •Pant & more Cal MIC for quote: 604-725-3127
1989
30Years! www.mrbuild.com RENOS • REPAIRS 9129 Shaughnessy St , Van 604-732-8453
SHAW LANDSCAPING LTD Complete Landscaping Cean-up Lawn Cuts Shrubs & Tree Pruning 778-688-1012 Start-Finish Demo-Design PAVERS Drveway Sidewalk Concrete Removal - Repace LANDSCAPING, Turf, Hedges, Retanng Wall, Patio Dranage 604-782-4322 lawn & gaRden Complete Landscaping Garden & Lawn Care • Power Rakng •Fertilzer • Pruning •Trmming • Pavers • Retanng Walls • Cedar Fenc ng & Gates Installation & Repairs 604-271-5319 778-863-5319 lawn & gaRden Complete Lawn Care SPRING CLEAN-UP •Weeding •Trim • Prunng • Power Rake • Moss Contro • Lawn Mowng sbgardening@hotmai ca 604-710-1348 • Lawn Cuts & Maintenance • Full Landscape Projects S gnature Design Serv ces, Call for a Yard Makeover! One call does it A l! WCB 604-943-0043 www.landplus.ca BUTTAR ANDSCAPIN GARDENING Lawn cut, trim & pruning Pressure washing 778.881.9380 AR APING B LA 604.771.5340 greensavegardening05@gmail.com Lawn Cutting Trimming & Pruning Yard Cleanup & Pressure Washing We handle Japanese Beetle Residential & Strata GREEN SAVE GARDENING & LANDSCAPING LTD. Lawn Mowing & Treatments augustalawncareservices.com /delta 604 245 2255 movIng ABE MOVING & Delivery & Rubbish Remova $45/hr per Person 24/7 • 604-999-6020 Affordable Moving From $45/hr 1 3 5 7 10 Ton Trucks Licensed & Insured Loca - Long Dstance Free Est Senor Disc 604-537-4140 www affordablemoversbc com paIntIng/ wallpapeR A-100 PAINTNG SERVICES Interior & Exterior REPAINT SPECIALIST. 30 Years Experience 604-723-8434 BC’s BEST PAINTERS 25+ yrs exp • BBB Top Quality Paint & Workmanshp EXTERIOR: Painting Experts; 15 year guarantee Interior: 2 Coats & Repairs for $250 per room 778-545-0098 604-377-5423 m brushespantng@gma com D & M PAINTING Exterior/Interior Specialist Many Years Experence Fu y Insured Top Quality • Quick Work Free estimate 604-724-3832 • Ladner’s Senior Pa nter • BRUCER the SPRUCER 604-946-9206 778-984-0666 A. RIGHTWAY PAINTING Ltd 27 years experience. Free Estimates 35%OFF SPECIAL SPRING PAINTING DISCOUNT INTERIOR & EXTERIOR Residential & Commercial paIntIng/ wallpapeR Fully Insured 20 yrs. exp • Free Est. INTERIOR & EXTERIOR SPECIALS 10% OFF Call 6047291234 FAIRWAY PAINTING plumbIng • Hot Water Tanks • Plumbing • Heating • Furnaces • Boilers • Drainage • Res. & Comm. • 24/7 Service 604-437-7272 poweR wasHIng Call Simon for prompt & professional service 30 yrs exp. Gutter Cleaning, Power Washing, Window Cleaning, Roof Cleaning 604-230-0627 Renos & Home ImpRovement RDM ENTERPRISES • • • For All Your Household Additions & Renovations • • • Interior & Exteror Finishing, Fences & Decks, Ktchens & Bathrooms, Pumbng Refs Aval Free Est Local Resdent & Serving Delta for over 20 yrs Call Rob 604-830-9401 604-377-2605 SERVING SURREY AND WHITE ROCK FOR OVER 20 YEARS FREE BATH TUB • High quality craftsmanship • Tile, Back-splash & Fireplace • Look us up on“Home Stars” enhale2008@gmail com | South Surrey One call does it all! To advertise: 604-362-0586 MARIO PAINTING Your local painter for all your painting needs. Free Est. WCB www.mariopainting.ca 604 720-0646
HandypeRson Since
Celebrating
landscapIng
HOME SERVICES classifieds delta-optim st com @ Place ads online @ classifieds.delta-optimist.com Hot Spot For Sale 604-362-0586 PLEASE RECYCLE THIS NEWSPAPER FIND HELP FOR YOUR PROJECTS renoS & home improvemenT Since 1989 604-732-8453 mrbuild@mrbuild.com www.mrbuild.com Need anything done or repaired?  RENOS  REPAIRS  PAINTING  TILING  DOORS  WINDOWS  DECKS  FENCES  ROOFING  GUTTERS □Renos □BathRooms □RePaIRs □PaIntInG □tILInG □DooRs □KItchens □WInDoWs □DecKs □Fences □RooFInG □GUtteRs A-1 Contracting & Roofing New & Re-Roofing • A l Types All Maintenance & Repairs GUTTER CLEANING Gutter Guard Installations • RENOVATION WORK • WCB 25% Discount • Emergency Repairs • Jag • 778-892-1530 a1kahlonconstruction ca roofing A1 TOP CANADIAN ROOFING LTD A kinds of roofing Re-roof, new roof & repairs Shingle & torch-on Free Estimates 778-878-2617 604-781-2094 All types Roofing & Repair. WCB Liability BBB • GLRoofing ca 604-240-5362 Re-Roofing & Repairs Specialists 20 Year Labour Warranty Ava abe 604-591-3500 rubbiSh removal “You Call It, We Haul It!” ROD’S HAUL-IT-AWAY Rubbish Remova and Recycl ng 778-668-4285 Located n Ladner • So you pay less • • FULL SERVICE JUNK REMOVAL & Clean-Up at Affordable Rates • Pianos & Hot Tubs No Problem • Booked Appointments • Same-Day Service • Residential & Commercial 20 YARD BIN RENTALS from $249 for a week + dump fees BRADS JUNK REMOVAL.com 604.220.JUNK (5865) 20 YARD BIN RENTALS Starting at $249 + dump fee BRADS REMOVAL.com Starting at $249 + dump fees. 20 YARD BIN RENTALS Tree ServiceS TREE SERVICES Pruning, Hedge Trimming Tree & Stump Removal 75 ft Bucket Trucks 604-787-5915 www treeworksonline ca $50 OFF * on jobs over $1000 AUTOMOTIVE Scrap car removal VEHICLE REMOVAL CASH FOR ALL! Servng Deta & area snce 1986 Call 604-649-1627 www deltascrap ca TODAY'S PUZZLE ANSWERS CALL THE EXPERTS #135-7391 Vantage Way, Delta www.accessgaragedoors.ca All Garage Doors & Garage Door Motors Sales • Service • Installations 604-940-8918 CABINET MAKEOVERS www.cabinetmakeovers.com 604-943-3825 Serving Delta for over 18 years. Local, experienced & BBB accredited TransformYourKitchen! www.cabinetmakeovers.com 604 786 7145 CallShawn B I G G E R B E T T E R G U T T E R S  Continuous 5 Gutters  Fascia  Custom Flashings  Soffit  Leaf Screen  Powerwashing  Cleaning and Repairs GUTTER BROTHERS GUTTERS gutter-brothers ca Local, reliable & experienced Larry: 604 561 2856 wwwthehandyhusband ca HANDYPERSON Fencing and decking > inFO@HOMeSTeadSeRViceS ca > WWW HOMeSTeadSeRViceS ca Specializing in FenceS and deckS JaSOn WellS 604 948 5296 HOMeSTead SeRViceS Certified Arborist & Tree Risk Assessor - Nathan Spowage PN-7646-A Delta’s Arborist Tree Service Co. Please call Jon at 604-916-6187 royalwoodtreecare@hotmail.com www.royalwoodtreecare.com TREE SERVICE rubbiSh removal Looking to do some Refer to the Service Directory for all of your home improveme decorating and gardening needs Home Improvement?

100% Canadianbased call centres. With

Canadians all the way.

We are proud to be bringing hundreds of Shaw customer service jobs to Canada so all of our customers will be served by a team with deep knowledge of our products and services and roots in the communities where they live and work.

A50 The Delta Optimist April27,2023

Turn static files into dynamic content formats.

Create a flipbook
Issuu converts static files into: digital portfolios, online yearbooks, online catalogs, digital photo albums and more. Sign up and create your flipbook.