Skip to main content

134 Gorge Road - Information Memorandum

Page 1


Colliers as exclusive agents, have been appointed to market for sale 134 Gorge Road, Queenstown.

This property is being offered For SaleAsking Price $7,380,000.

This information Memorandum provides preliminary information to assist interested parties with their assessment of the property. Further information is available on request.

colliersotago.co.nz/67028234

Documents available:

• Tenancy Schedule (on completion of an NDA)

• LIM

• Seismic Report

• Record of Title

All enquiries, requests for information and arrangements to undertake inspections in relation to this opportunity are to be directed to the listing agents below.

Mark Simpson +64 27 490 6394 mark.simpson@colliers.com

Rory O’Donnell +64 27 445 3982 rory.odonnell@colliers.com

Executive Summary

ADDRESS 134 Gorge Road, Queenstown

DESCRIPTION

TENURE

A fully tenanted commercial investment property located on a prime, high profile corner site on the developing Gorge Road arterial. The site is nearby the new Te Pā Tāhuna Ngai Tahu mixed use development, and enjoys ample car parking with dual access off Gorge Road and Bowen Street.

Freehold (fee simple)

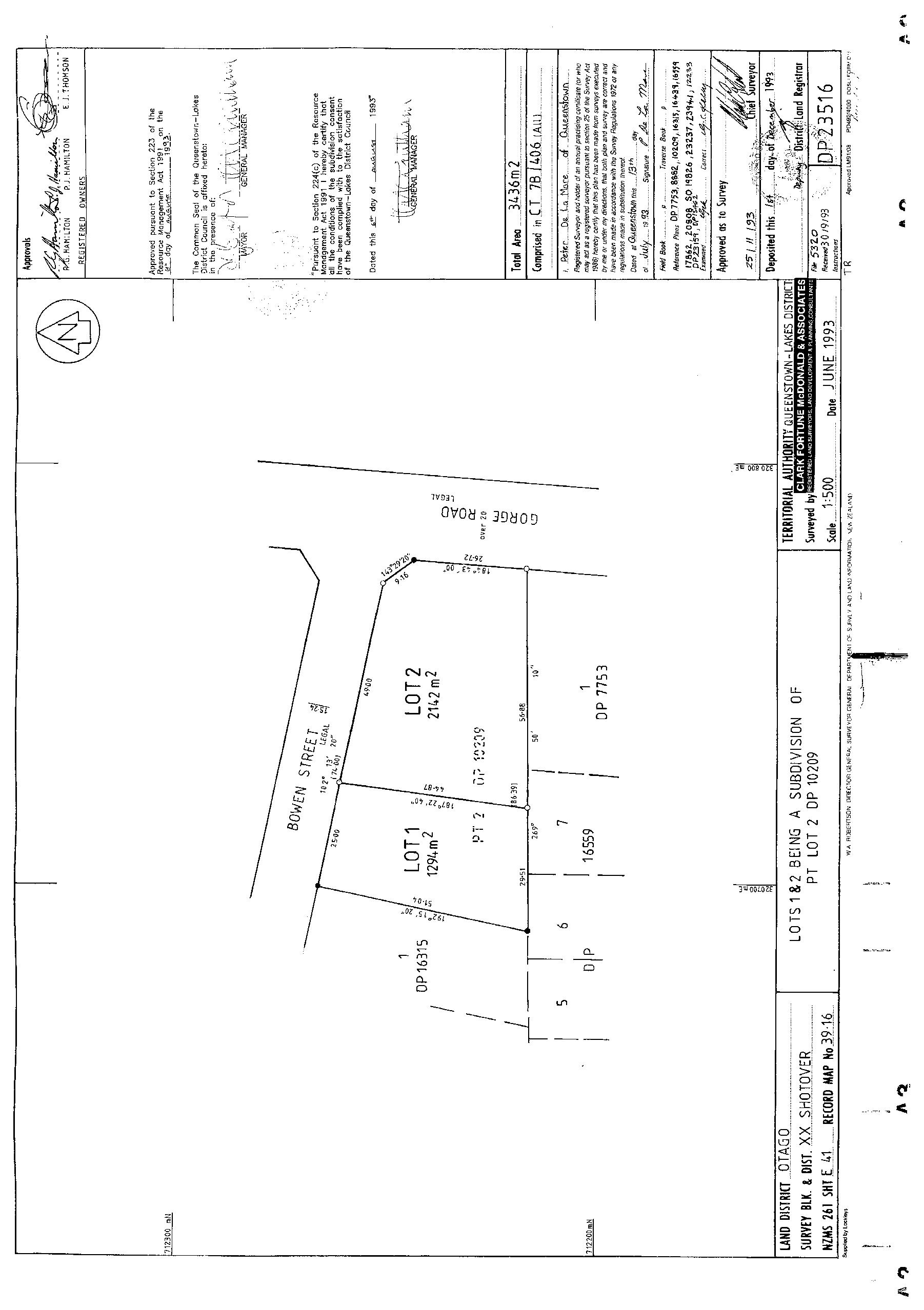
LEGAL DESCRIPTION LOT 2 DP 23516

CERTIFICATE OF TITLE OT15B/876

Land Area: 2,142m² (more or less)

AREA

LOCAL AUTHORITY

ZONING

RATEABLE VALUE

ANNUAL RENT

SALES PROCESS

Net Lettable Area: 1,180m²

Queenstown Lakes District Council (QLDC)

Business Zone (under the QLDC Operative District Plan)

$7,440,000 (as at Sept 2024)

$387,364 p.a plus GST & OPEX

For Sale - Asking Price $7,380,000

Investment Highlights

Prime Corner Location

High profile corner location on the developing Gorge Road arterial adjoining the new Te Pā Tāhuna Ngai Tahu mixed use development, and close to the CBD.

Good Access & Parking

Good on-site car parking and dual access off Gorge Road and Bowen Street.

Flexible Building Configuration

Good profile frontages and multiple access points for loading. Flexible tenancy configuration.

Fully Tenanted Investment

Annual net rental of $387,364 p.a plus Opex & GST.

Flexible Site with Future Redevelopment Potential

2,142m² corner site contained in one freehold title with future development potential under the Proposed District Plan (PDP).

The Property

The property is situated on a high profile regular shaped corner site of 2,142m² (more or less), with main frontage and access onto both Gorge Road and Bowen Street. The premises have an estimated NLA of 1,180m² split across 2 levels. Originally built in the late 1990s, with refurbishment being completed over time as occupiers have changed.

Construction provides for concrete floors and foundations, majority concrete tilt slab walls, with structural steel portals and some timber framing, Coloursteel exterior cladding to walls with some feature schist stone with aluminium door and window joinery.

Internally the building has been configured to provide a mixture of showroom and offices of a quality standard. All tenancies contain toilet amenity and staffroom areas with built in kitchen facilities. Externally the site is well maintained and predominantly sealed to provide good onsite car parking, and drive through access to the front.

boundary indicative only

Tenancy Schedule

* All areas are subject to measure

Location

134 Gorge Road is positioned on a main north eastern arterial route in and out of Central Queenstown. Gorge Road is a key access route between Queenstown’s CBD and business zones as well as providing direct access to Arthurs Point, Coronet Peak ski area and Arrowtown.

A full range of amenities are available in the Queenstown Town Centre located 1.5km to the southwest and the growing Frankton retail hub located 10 km to the east which includes Five Mile, Queenstown Central and Remarkables Park shopping centres.

Also located at Frankton is the Queenstown International Airport. Surrounding development in the immediate area comprises predominantly other commercial activities including retail, automotive, hospitality, professional services, service stations, residential apartments and Commercial visitor accommodation, including a new apartment hotel currently under construction.

This developing location has also been identified in the QLDC District Plan currently under review (includes the Business Mixed Use Zone). This area has been identified as part of the urban intensification plan which proposes a greater height and density for future development. This is currently being finalised with a decision expected this year and will significantly expand future development opportunities for the subject property.

Zoning

Business Zone - Operative District Plan

Under the Operative District Plan, the property has a Business zoning.

Under the Proposed District Plan, 134 Gorge Road is zoned Business Mixed Use.

The intention of this zone is to provide for complementary commercial, business, retail and residential uses that supplement the activities and services provided by town centre. Higher density living opportunities close to employment and activities are also enabled.

Significantly greater building heights are enabled in the Business Mixed Use Zone, provided that high quality urban design outcomes are achieved.

Some of the key Zone and Site Standards include:

• Maximum building coverage 75%

• Maximum building height 20m* dependent on location

Note: It is the responsibility of interested parties to obtain their own independent advice on planning, zone and building related activities for the property.

Queenstown Market

Construction and Tourism continues to underpin business growth and confidence for occupiers of commercial property in Queenstown. A critical shortage of land available for development means the market currently has the lowest vacancy rate on record.

This supply shortage is stimulating growth in rentals and underlying values to support development of new buildings across all sectors of the market including Hotels/Tourism, Offices, Commercial and Industrial.

Commercial land values have also experienced solid growth due to lack of supply in the immediate area. The softening of yields around New Zealand in the last 24 months has stabilised and we are now seeing recent activity strengthen these yields, although not yet to pre-2021 levels

Yields now sit between 4.75% – 6% for properties like this, particularly in the surrounding Industrial Place/Gorge Road area.

The new construction activity in the area is focussed around hotel and apartment accommodation, which is positive for the area and the CBD. It also signals the confidence in the continued growth of the area.

Record of Title

RECORD OF TITLE UNDER LAND TRANSFER ACT 2017 FREEHOLD

Guaranteed Search Copy issued under Section 60 of the Land Transfer Act 2017

Identifier

OT15B/876

Land Registration District Otago

Date Issued 01 December 1993

Prior References

OT7B/406

Estate Fee Simple Area 2142 square metres more or less

Legal Description Lot 2DepositedPlan23516

Registered Owners GRB Limited

Interests

Identifier OT15B/876

Due Diligence

To assist in the assessment of this offering, comprehensive due diligence information is available on request. For access please contact the listing agents.

Documents included:

• Tenancy Schedule (on completion of an NDA)

• Lease Documents

• LIM

• Seismic Report

• Record of Title

All enquiries, requests for information and arrangements for site inspections are to be directed to the Colliers exclusive agents:

Mark Simpson

+64 27 490 6394

mark.simpson@colliers.com

Rory O’Donnell

+64 27 445 3982

rory.odonnell@colliers.com

Turn static files into dynamic content formats.

Create a flipbook
134 Gorge Road - Information Memorandum by Colliers Otago - Issuu