








![]()









Contentious legislationbacked by governor
BY TYLER BRIDGES Staff writer
Gov.Jeff Landry showed who’s theboss at theState Capitol when he rammed acar insurance bill through the Senate late Wednesday night over the vehement objections of Insurance Commissioner TimTemple and business trade groups.
House Bill 148 would grant the insurance commissioner greater authority to reject “excessive” rate increases,which Landry has said several times would prompt him to blame Temple if ratesremain high. With alast-minute amendment sought by thegovernor,HB148 also would require insurance companies to make their rate filing requestspublic.They say this could force them to expose trade secrets.
But balancing out the scales, the Senate also passed five bills that affect who can sue and how much they can collect —measures that Temple, theinsurance industry and their business allies say would reduce payouts and thus reduce rates. The Senatepassed thebills over the opposition of trial lawyers andtheir Democratic allies.
“What just passed out of theSenate, and if passed intolaw,would be the most comprehensive insurance reform in Louisiana’s history,” said Sen. Patrick McMath, R-Covington. “These changes are geared toward addressing the unaffordable car insurancecrisis in Louisiana.”
Sen. Jay Luneau, D-Alexandria, offered adifferent take.
“We’re just taking away more people’srights, and rates won’t go down,” he said, addingthatthe Senate’srush to approve bills with late changes “leads to bad legislation.”
Te mple support ed the
ä See SENATE, page 7A




BY CLAIRE TAYLOR Staff writer
More details emerged Thursday about akickback scheme allegedly involvingformer Louisiana Department of Wildlife and Fisheries Secre-




























BY KASEYBUBNASH Staff writers
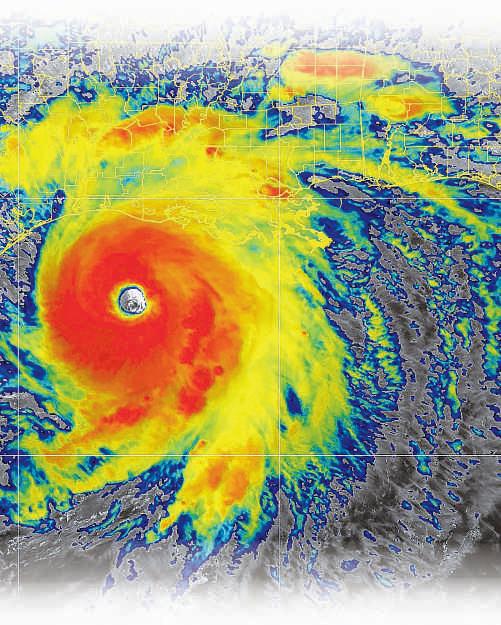
Anotherabove-average hurricaneseason is in store for the U.S., federal hurricane forecasters announced Thursdayfromthe NewOrleans area, but the outlook isn’tquite as grim as it was this time last year
National Oceanic andAtmosphericAssociationofficials presentedtheir 2025 outlook from theJefferson Parish Emergency OperationsCenter in Gretna, ahead of the 20th
anniversaryofHurricane Katrina. They touched on lessons learnedsince thedevastating 2005 storm, andpraised Jefferson Parish in particular for itsstorm preparations.
NOAA is predicting 13 to 19 named storms

ASSOCIATEDPRESS PHOTO
Speaker of the House Mike Johnson, R-Benton, announces the final vote total after the House of Representativespassed President DonaldTrump’sbudget bill on Thursday.
Extension of tax
Medicaid,GOMESA capincreaseincluded
BY MARK BALLARD Staff writer
WASHINGTON —Louisiana’sfour
House Republicanshelpedpass the “One Big Beautiful Bill Act” early Thursday morning by one vote, while the state’stwo Democratic members voted no. HouseSpeaker Mike Johnson, R-Benton, held the voting machine open forafew minutes and the bill passed on a215-214 vote. The bill cuts Medicaid and food stamp spending, as well as phasing outBiden-era clean energy incentives. It includesmuchof President Donald Trump’sdomestic legislative agenda, including extending tax cuts fromhis first term andfunds forbuildingthe wallalong the Mexican border
Officially titled the “Big, Beautiful Bill,” the measure now heads to the U.S. Senate, where somesenators already have said they plan a
ä See HOUSE, page 7A
tary Jack Montoucet of Scott, former LDWFCommissioner
Dusty Guidry of Youngsville and Lafayette businessman LeonardFranques Montoucet, aformer state representative, was indicted Wednesdaybya federal grand
jury in Lafayette on five felony counts, including one count of conspiracytocommit bribery and wirefraud, threecounts of wire fraud and one count of conspiracy to commitmoney laundering. He is scheduled to appear for
arraignment June 12 in federal court in Lafayette. DonCazayoux, an attorney representing Montoucet, did not immediately return amessage seeking comment. Guidry and Franquespreviously pleaded guilty in connec-
tion with the scheme. They face sentencing in October Under the scheme, Montoucet and Guidry allegedly gave Franques’ company,DGL1, the upper hand in competing for a
ä See KICKBACK, page


Iran may take measures to defend nuke sites
DUBAI, United Arab Emirates Iran’s top diplomat warned Thursday that his country would take “special measures” to defend its nuclear facilities if Israel continues to threaten them, raising the stakes further ahead of a new round of talks with the United States.
The comments by Foreign Minister Abbas Araghchi offered no specifics on what Tehran would do, but international inspectors already have seen their access limited to Iran’s program. That’s even as Tehran enriches uranium to 60% purity a short, technical step away from weapons-grade levels of 90%.
“I have called on the international community to take effective preventive measures against the continuation of Israeli threats, which if unchecked, will compel Iran to take special measures in defense of our nuclear facilities and materials,” Araghchi wrote on the social platform X after sending letters to United Nations officials.
“The nature, content and extent of our actions will correspond and be proportionate to preventive measures taken by these international bodies in accordance with their statutory duties and obligations.”
Iran’s mission to the United Nations later posted Araghchi’s letter online, which included a warning to the U.S. as well.
Tenn. man is executed for killing wife, her sons NASHVILLE, Tenn. — Tennessee inmate Oscar Smith was executed by lethal injection on Thursday morning for the 1989 murders of his estranged wife, Judith Smith, and her teenage sons, Jason and Chad Burnett Smith was pronounced dead at 10:47 a.m. after a lethal injection of the barbiturate pentobarbital.
The 75-year-old had maintained his innocence. In a lengthy final statement, he railed against the justice system, saying it “doesn’t work,” echoing sentiments expressed in a recent interview with The Associated Press.
Speaking of Tennessee Gov Bill Lee, Smith said, “He has the last word and is the last person who can give justice where justice is needed.” There are more men waiting to die at the prison, he said. “I’m not the first, and I’m not going to be the last.” Smith was strapped to a gurney and had an IV in his right arm It was attached to a long tube that ran into a different room where the lethal injection was administered. Witnesses saw no obvious sign that the injection had begun after his final statement, but Smith’s speech became labored as he spoke with his spiritual adviser Witnesses heard him say “I didn’t kill her.” He appeared calm and did not appear to struggle as visible signs of respiration stopped.
Man admits role in theft of body parts
SCRANTON, Pa. — A former Harvard Medical School morgue manager has admitted his role in the theft and sale of human body parts — including hands, feet and heads.
Cedric Lodge, 57, of Goffstown, New Hampshire, pleaded guilty Wednesday in Pennsylvania to interstate transport of stolen human remains, federal prosecutors said. He could face up to 10 years in prison.
The thefts from the morgue in Boston occurred from 2018 through at least March 2020, prosecutors said. Authorities have said Lodge, his wife and others were part of a nationwide network of people who bought and sold human remains stolen from Harvard and a mortuary in Arkansas.
Denise Lodge and several other defendants have pleaded guilty to various charges stemming from the scheme. Prosecutors have said she negotiated online sales of several items, including two dozen hands, two feet, nine spines, portions of skulls, five dissected human faces and two dissected heads.
Authorities have said the dissected portions of cadavers donated to the school were taken without the school’s knowledge or permission.
BY ERIC TUCKER, MICHAEL KUNZELMAN and ALANNA DURKIN RICHER Associated Press
WASHINGTON The man accused of fatally shooting two staff members of the Israeli Embassy in Washington as they left an event at a Jewish museum told police after his arrest, “I did it for Palestine, I did it for Gaza,” federal authorities said Thursday in announcing criminal charges.
Elias Rodriguez, 31, shouted “Free Palestine” as he was led away after his arrest and told police that he was the one who “did it,” according to charging documents that provided chilling new details of a Wednesday night attack that killed an American woman and Israeli man who were set to become engaged.
Authorities described the slayings as a targeted act of terror Rodriguez faces charges of murder of foreign officials and other crimes. Additional charges are likely, prosecutors said Thursday, as authorities continue to investigate the killings as both a hate crime against the Jewish community and terrorism “Violence against anyone, based on their religion is an act of cowardice It is not an act of a hero,” said Jeanine Pirro, the U.S. attorney for the District of Columbia. “Antisemitism will not be tolerated, especially in the nation’s capital.”
Court documents made public Thursday say the shooting was captured on surveillance video

Law enforcement members work the scene Thursday after two Israeli Embassy staff members were shot and killed outside the Capital Jewish Museum in Washington, D.C
outside the museum, which authorities say showed Rodriguez firing at the victims several more times after they fell to the ground.
After he was arrested, Rodriguez told detectives that he admired the man who set himself on fire outside the Israeli embassy in February 2024 and described the man as “courageous” and a “martyr,” court documents say Rodriguez also told detectives that he purchased tickets to the event at the museum about three hours before it started, according to the court documents.
The two people killed, identified as Yaron Lischinsky, an Israeli citizen, and Sarah Milgrim, an American, were a young couple about to be engaged, according to Yechiel
Leiter, the Israeli ambassador to the U.S He said Lischinsky had purchased a ring this week with the intent to propose next week in Jerusalem. The stunning attack on Wednesday evening prompted Israeli missions to beef up their security and lower their flags to half-staff. It came as Israel has launched another major offensive in the Gaza Strip in a war with Hamas that has heightened tensions across the Middle East and internationally and as antisemitic acts are on the rise.
Associated Press writers Maya Sweedler Michael Biesecker Hallie Golden, Jon Gambrell, Stefanie Dazio and Natalie Melzer contributed to this report.
No new direct Russia-Ukraine peace talks are scheduled, Kremlin says
By The Associated Press
Russia and Ukraine have no direct peace talks scheduled, the Kremlin said Thursday, nearly a week after their first face-to-face session since shortly after Moscow’s invasion in 2022 and days after U.S. President Donald Trump said they would start ceasefire negotiations “immediately.”
“There is no concrete agreement about the next meetings,” Kremlin spokesman Dmitry Peskov told reporters. “They are yet to be agreed upon.”
During two hours of talks in Istanbul on May 16, Kyiv and Moscow agreed to exchange 1,000 prisoners of war each, in what would be their biggest such swap. Apart from that step, the meeting delivered no significant breakthrough. Several months of intensified U.S. and European pressure on the two sides to accept a ceasefire and negotiate a settlement have yielded little progress. Meanwhile Russia is readying a summer offensive to capture more Ukrainian land, Ukrainian government
BY COLLIN BINKLEY and MICHAEL CASEY Associated Press
WASHINGTON The Trump administration revoked Harvard University’s ability to enroll international students in its escalating battle with the Ivy League school, saying thousands of current students must transfer to other schools or leave the country
The Department of Homeland Security announced the action Thursday, saying Harvard has created an unsafe campus environment by allowing “antiAmerican, pro-terrorist agitators” to assault Jewish students on campus. It also accused Harvard of coordinating with the Chinese Communist Party saying it hosted and trained members of a Chinese paramilitary group as recently as 2024.
“This means Harvard can no longer enroll foreign students and existing foreign students must transfer or lose their legal status,” the agency said in a statement
Harvard enrolls almost 6,800 foreign students at its campus in Cambridge, Massachusetts, accounting for more than a quarter of its student body Most are graduate students, coming from more than 100 countries.
Harvard called the action unlawful and said it’s working to provide guidance to students.
“This retaliatory action threatens serious harm to the Harvard community and our country and undermines Harvard’s academic and research mission,” the uni-
and military analysts say Russian President Vladimir Putin said earlier this week that Moscow would “propose and is ready to work with” Ukraine on a “memorandum” outlining the framework for “a possible future peace treaty.” Putin has effectively rejected a 30-day ceasefire proposal that Ukraine has accepted. He has linked the possibility to a halt in Ukraine’s mobilization effort and a freeze on Western arms shipments to Kyiv as part of a comprehensive settlement.

ASSOCIATED PRESS FILE PHOTO
The Trump administration revoked Harvard University’s ability to enroll international students in its escalating battle with the Ivy League school.
versity said in a statement.
The dispute stems from an April 16 request from Homeland Security Secretary Kristi Noem. The letter demanded that Harvard turn over information about foreign students that might implicate them in violence or protests that could lead to their deportation.
In a letter to Harvard on Thursday, Noem said the school’s sanction is “the unfortunate result of Harvard’s failure to comply with simple reporting requirements.” It bars Harvard from hosting international students for the upcoming 2025-26 school year
Noem said Harvard can regain its ability to host foreign students if it produces a trove of records on foreign students within 72 hours. Her updated request demands all records, including audio or video footage, of foreign students participating in protests or dangerous activity on campus.
“This administration is holding Harvard accountable for fostering violence, antisemitism, and coordinating with the Chinese Communist Party on its campus,” Noem said in a statement.
The action revoked Harvard’s certification in the Student and Exchange Visitor Program, which gives the school the ability to sponsor international students to get their visas and attend school in the United States.
BY JULIE WATSON Associated Press
SAN DIEGO The music agency
Sound Talent Group said Thursday that three of its employees, including co-founder Dave Shapiro, died on the private plane that crashed into a San Diego neighborhood.
Shapiro is listed as the owner of the plane and has a pilot’s license, according to the Federal Aviation Administration Shapiro also owned a flight school called Velocity Aviation and a record label, Velocity Records, according to his LinkedIn page.
The agency didn’t share the names of the other two employees who died.
“We are devastated by the loss of our co-founder, colleagues and friends. Our hearts go out to their families and to everyone impacted by today’s tragedy,” the agency said in a statement.
Sound Talent Group has represented artists including Hanson, Sum 41 and Vanessa Carlton.
San Diego authorities earlier said two people had died. The total number of fatalities is unknown, but six people were on board the plane, according to the Federal Aviation Administration.
The private jet crashed early Thursday into a neighborhood of U.S. Navy-owned housing in San Diego during foggy weather, igniting at least one home and numerous vehicles parked on the street. The plane clipped power lines before slamming into the house, said Elliot Simpson with the National Transportation Safety Board. Several people were injured while trying to flee after the crash just before 4 a.m. in Murphy Canyon, the largest neighborhood of Navy-owned housing in the country Others were treated for smoke inhalation, authorities said. At least one home was destroyed with its front heavily burned and its roof partially collapsed. About 10 others suffered damage at the site where half a dozen vehicles were melted and scorched into burned shells.
At least 100 residents were evacuated, police said, with surrounding blocks cordoned off with yellow police tape and checkpoints.

BY MARK SHERMAN Associated Press
WASHINGTON— The Supreme Court on Thursday effectively ended apubliclyfunded Catholic charter school in Oklahoma, dividing 4-4.
The outcome keeps in place an Oklahoma courtdecisionthat invalidated avote by astate charter school board to approve the St. Isidore of Seville Catholic Virtual School, which would have been the nation’sfirst religious charterschool. Butitleaves theissueunresolved nationally
The one-sentence notice from the court provides an unsatisfying end to one of the term’smost closely watched cases. The Catholic Church in Oklahoma had wanted taxpayers to fund the online charter school “faithful to the teachings of Jesus Christ.” Opponents warned thatallowing it would blur

the separation between church and state, sap money from public schools and possibly upend the rules governing charter schools in almost every state.
Only eight of the nine justices took part in the case. Justice Amy Coney Barrett
didn’texplain her absence, but she is good friends and used to teach with Notre Dame law professor Nicole Garnett, who hasbeen an adviser to the school.
The issue could return to thehigh court in thefuture, withthe prospect that all
workforce
BY MARK SHERMAN Associated Press
WASHINGTON The Supreme Court’sconservative majority on Thursday declined to reinstate independent agency board members fired by President Donald Trump, endorsing arobust view of presidential power But the court suggested that it couldblock an attempt to fireFederal Reserve Chair Jerome Powell, who Trump has complained has not cut interestrates aggressively
The court’saction essentially extendedanorder Chief Justice John Roberts issued in April that had the effect of removing two board members who Trump fired from agencies that deal with labor issues, including one with akey role for federal workers as Trump aims to drastically downsize the
Neither agency has enough appointed members to take final actions on issues before them, as Trump has not sought to appointreplacements.
The decision Thursday keeps on hold an appellate ruling that hadtemporarily reinstated Gwynne Wilcox to the NationalLabor Relations Board and Cathy Harristo the Merit Systems Protection Board
While not afinalruling, the court said in an unsigned orderthatthe Constitution appears to give the president the authoritytofire the board members “without cause.”
Thecourt’s three liberal justices dissented. “Not since the 1950s (or even before)has aPresident, withoutalegitimate reason, tried to removeanofficer from a classicindependent agency,” Justice Elena Kagan wrote, joined by Justices SoniaSotomayorand Ketanji Brown Jackson
The court refused to re-
instateHarris and Wilcox while their cases play out in thecourtsoverwarnings from their lawyers that their action would signal that Trump is free to fire members of every independent agency,including theFederal Reserve Board.
“Thatway lies chaos,” lawyer Neal Katyal wrote in a high court filing on behalf of Harris.
Defending Trump at the SupremeCourt, Solicitor General D. John Sauer told thejustices that firing Fed governorswas a“distinct question” that is not presented in this case.
Trumphas musedabout firing Powell and his remark in April that thecentral bank leader’s“termination cannot come fast enough”causeda stock market sell-off. Trump then said he had no plans to fire Powell.
Theconservativejustices appeared to agree, noting that the Federal Reserve “is auniquely structured, quasiprivateentity.”
nine justices could participate.
Thecourt, following its custom, did not provide a breakdown of the votes. But during arguments last month, four conservative justices seemed likely to side with theschool, while thethree liberalsseemed just as firmly on theother side.
That left Chief Justice John Roberts appearing to hold the key vote,and suggestshewent with the liberals to make the outcome 4-4.
Thecase came to the court amidefforts,mainly in conservative-led states, to insert religionintopublic schools. Those include achallengedLouisiana requirement that the Ten Commandments be posted in classrooms and amandate from Oklahoma’sstate schools superintendent that theBible be placed in public school classrooms.
St. Isidore, aK-12online
school,had planned to start classes for its first 200 enrollees last fall, withpart of its mission to evangelize itsstudents in the Catholic faith.
Akey unresolvedissue is whether the school is public or private. Charter schools are deemed public in Oklahomaand the other 45 states and the District of Columbia where they operate. North Dakota recently enacted legislation allowing forcharter schools.
They are free and open to all, receive state funding, abide by anti-discrimination laws andsubmit to oversight of curriculum andtesting Buttheyalso arerun by independent boards that are not part of local public school systems.
Proponents of publicly funded religious charter schools werequick to point outthatthe decisionwas limited to Oklahoma.
“Oklahoma parents and

childrenare betteroff with moreeducational choices, not fewer.While the Supreme Court’sorderisdisappointing foreducational freedom, the4-4 decision does not set precedent, allowing the court to revisit this issue in the future,” said Jim Campbell, who argued the case at the high court on behalf of Oklahoma’scharter school board. Campbell is the chief legal counselatAllianceDefending Freedom, aconservative legal organization that appears often at thecourt in cases on high-profile social issues. On the otherside, the American Civil Liberties Union andAmericans United for SeparationofChurch andState,whichare among groups representing parents and other opponents of theschoolina separate lawsuit, applauded the outcome forpreserving public education.





BY JANIE HAR Associated Press
SAN FRANCISCO Ajudge
in California blocked the Trump administration Thursday from terminating the legal status of international students nationwide while a court case challenging previous terminations is pending. The order by U.S. District Judge Jeffrey S. Whitein Oakland bars the government from arresting, incarcerating or moving students elsewhere based on their legal status until the case is resolved. Students could still be arrested for other reasons and their legal status can still
be revokedifthey are convictedofaviolent crime carrying aprison term of more than ayear
Most courts hearing these typesofcases havegranted protections to the person suing, but White said the government’s actions“wreaked havoc” not only on thelives of plaintiffs but othernonimmigrantsinthe U.S. on student visas White,who wasnominated by PresidentGeorgeW Bush, aRepublican,issued the nationwide injunction sought by attorneys for about two dozen students who sued after their legal status was abruptlyterminatedinearly
April by Immigration and Customs Enforcement.
Morethan4,700 international studentshad their permission to study in the U.S. canceled this spring, with littlenotice or explanation, as part of President Donald Trump’scrackdown on immigrantsand foreign nationals. In court hearings, DepartmentofHomeland Security officials said they ran the names of student visa holdersthrough an FBI-run database thatcontains the names of suspects andpeople who have beenarrested,evenif the charges were dropped or they were nevercharged withacrime.




































BY MOHAMMED JAHJOUH, WAFAA SHURAFA, SARAH EL DEEB and SAM MEDNICK Associated Press
KHAN YOUNIS, Gaza Strip — Grabbing her daughter’s feeble arm, Asmaa al-Arja pulls a shirt over the 2-yearold’s protruding ribs and swollen belly The child lies on a hospital bed, heaving, then wails uncontrollably, throwing her arms around her own shoulders as if to console herself.
This isn’t the first time Mayar has been in a Gaza hospital battling malnutrition, yet this 17-day stint is the longest. She has celiac disease, an autoimmune disorder that means she can’t eat gluten and requires special food. But there’s little left for her to eat in the embattled enclave after 19 months of war and Israel’s punishing blockade, and she can’t digest what’s available “She needs diapers, soy milk and she needs special food. This is not available because of border closures If it’s available, it is expensive, I can’t afford it,” her mother said as she sat next to Mayar at Nasser Hospital in Khan Younis.

that is home to some 2 million Palestinians, as it carries out waves of airstrikes and ground operations Palestinians in Gaza rely almost entirely on outside aid to survive because Israel’s offensive has destroyed almost all the territory’s food production capabilities.
After weeks of insisting Gaza had enough food, Israel relented in the face of international pressure and began allowing dozens of humanitarian trucks into the territory this week — including some carrying baby food.
On Wednesday a U.N. official said more than a dozen trucks arrived at warehouses in central Gaza. The official spoke on condition of anonymity because they were not authorized to talk to the press. That appeared to be the first aid to actually reach a distribution point since the blockade was lifted.
But it’s getting harder to help her as supplies like baby formula are disappearing, say health staff. Hospitals are hanging by a thread, dealing with mass casualties from Israeli strikes. Packed hospital feeding centers are overwhelmed with patients.
Mayar is among the more than 9,000 children who have been treated for malnutrition this year, according to the U.N. children’s agency, and food security experts say tens of thousands of cases are expected in the coming year.
Experts also warn the territory could plunge into famine if Israel doesn’t stop its military campaign and fully lift its blockade — but the World Health Organization said last week that people are
already starving.
“Everywhere you look, people are hungry They point their fingers to their mouths showing that (they) need something to eat,” said Nestor Owomuhangi, the representative of the United Nations Population Fund for the Palestinian territories.
“The worst has already arrived in Gaza.”
For more than two months, Israel has banned all food, medicine and other goods from entering the territory
“Children are already dying from malnutrition and there are more babies in Gaza now who will be in mortal danger if they don’t get fast access to the nutrition supplies needed to save their lives,” said Tess Ingram of the U.N. children’s agency But U.N. agencies say the amount is woefully insufficient, compared to around 600 trucks a day that entered during a recent ceasefire and that are necessary to meet basic needs. And they have struggled to retrieve the aid and distribute it, blaming complicated Israeli military procedures and the breakdown of law and order inside the territory
BY CHRISTOPHER RUGABER AP economics writer
BANFF, Alberta Top finance officials from the world’s seven wealthiest democracies set aside stark differences on U.S. tariffs and agreed to counter global “economic imbalances,” a swipe at China’s trade practices. In a communiqué issued Thursday, the Group of Seven finance ministers and central bank governors, meeting in the Canadian Rockies, left out their traditional defense of free trade and toned down their references to Russia’s war in Ukraine compared with last year But they did agree that
BY PATRICK WHITTLE and ISABELLA O’MALLEY Associated Press
SCARBOROUGH, Maine An unusual May nor’easter soaked New England on Thursday and threatened to bring snow to higher elevations as the states prepared for the Memorial Day holiday weekend. Nor’easters usually arrive in the end of fall and winter and bring high winds, rough seas and precipitation in the form of rain or snow. This week’s nor’easter could bring wind gusts over 40 mph and more than 2 inches of rain in some areas. Fore-
further sanctions on Russia could be imposed if the two countries don’t reach a ceasefire
The communiqué said the G7 members would continue to monitor “nonmarket policies and practices” which contribute to imbalances in global trade. The statement did not mention China but nonmarket policies typically refer to that country’s export subsidies and currency policies that the Trump administration charges gives it an advantage in international trade
The communique’s call to address global imbalances and nonmarket practices was a key goal of the Trump administration leading up to the meeting.
The high-profile gathering of officials from the United States, Canada, United Kingdom, Japan, Germany, France, and Italy appeared
casters said snow was possible in the mountains of Maine and New Hampshire.
The storm brought dark skies to New England during a time of year usually reserved for sunshine and cookouts. It was also unseasonably cold, with temperatures below 50 degrees in Portland, Maine; Providence, Rhode Island; and Montpelier Vermont The storm was expected to linger into Friday. A nor’easter is an East Coast storm that is so named because winds over the coastal area are typically from the northeast, according to the National Weather
to be more congenial than an earlier meeting of G7 foreign ministers in March. Yet that meeting, also in Canada, occurred as President Donald Trump was in the midst of threatening stiff tariffs on Canada and suggesting it could become the 51st state.
Canada is president of this year’s G7 and the sessions this week are intended to lay the groundwork for a meeting of the heads of state on June 15-17 in Kananaskis, Canada. The White House said Thursday that Trump will attend that gathering.
“Throughout our G7 presidency, the tone of the discussions has become progressively more constructive,”
Tiff Macklem, governor of the Bank of Canada, said at a news conference at the conclusion of the summit.
Yet that unity appears to have been achieved by jet-
tisoning many items that in the past had been agreed to by the G7 countries. In addition to leaving out any mention of trade, the communiqué dropped sections on combating climate change and cooperating on international tax policy, issues the Trump administration has dismissed.
“This year our focus was to return to the G7 core mission, restoring global growth and stability,” said FrancoisPhilippe Champagne, Canada’s finance minister
The shift comes as Trump has slapped widespread tariffs on imports, including a 10% global duty on all goods, even those from the other G7 allies. Trump has also imposed 25% tariffs on steel, aluminum, and cars, and on April 2 imposed much steeper tariffs on about 60 nations, which he then paused until early July.
Service. The storms can happen at any time of the year, but they are at their most frequent and strongest between September and April, according to the service.
The storms have caused billions of dollars in damage in the past. They usually reach the height of their strength in New England and eastern Canada. The storms often disrupt traffic and power grids and can cause severe damage to homes and businesses.
“We have a stronger jet stream, which is helping intensify a low pressure system that just happens to be coming up the coast
And so that’s how it got the nor’easter name,” said Kyle Pederson, a meteorologist at the National Weather Service in Boston. The storm hit Boston with heavy rains and stiff wind starting Thursday morning. Southern Massachusetts was also dealing with heavy rains that made for messy morning and evening commutes. The heaviest rain was expected to fall in Rhode Island and southern and eastern Massachusetts, Pederson said. Localized nuisance flooding and difficult driving conditions were possible Thursday, but catastrophic flooding was not expected.
Israel accuses Hamas of siphoning off aid, without providing evidence, and plans to roll out a new aid distribution system within days. U.N. agencies and aid groups say the new system would fall far short of mounting needs, force much of the population to flee again in order to be closer to distribution sites, and violate humanitarian principles by forcing people to move to receive the aid rather than delivering it based on need to where people live.
On top of not being able to find or afford the food that Mayar needs, her mother said chronic diarrhea linked to celiac disease has kept the child in and out of hospital all year The toddler — whose two pigtails are brittle, a sign of malnutrition weighs 15 pounds, according to doctors. That’s about half what healthy girl her age should.
“We have nothing at Nasser Hospital,” said Dr Ahmed al-Farrah, who said his emergency center for malnourished children is at full capacity Supplies are running out, people are living off scraps, and the situation is catastrophic for babies and pregnant women, he said.
In the feeding center of the hospital, malnourished mothers console their hungry children some so frail their spines jut out of their skin, their legs swollen from lack food.
The Integrated Food Security Phase Classification, a leading international authority on the severity of hunger crises, has warned that there could be some 71,000 cases of malnourished children between now and March. In addition, nearly 17,000 pregnant and breastfeeding women will need treatment for acute malnutrition in the coming months.
Rapper: Car set on fire weeks after Sean Combs broke into his home
BY MICHAEL R. SISAK and LARRY NEUMEISTER Associated Press
NEWYORK Rapper Kid Cudi testified Thursday that Sean “Diddy” Combs broke into his Hollywood Hills home in 2011 after finding out he was dating Combs’ ex-girlfriend, the R&B singer Cassie, and said he was sure Combs was behind the firebomb ing of his car weeks later

Speaking at Combs’ federal sex trafficking trial in Manhattan, Cudi said that while he and Cassie were briefly dating, he took her to a West Hollywood hotel in order to get her away from the seething Combs While there, he said, he got a call from Combs’ assistant Capricorn Clark. She told him Combs and an affiliate were in Cudi’s house and she had been forced to go with them. Cudi, whose legal name is Scott Mescudi, said he called Combs while driving home and asked why he was in his house. He said Combs calmly replied, “I want to talk to you.”
But Combs wasn’t there when he arrived, Cudi testified. Instead, he found that someone had opened Christmas presents he’d bought for his family and locked his dog in a bathroom Cudi wasn’t sure what was going on, so he called the police.
A few weeks later, Cudi testified, his Porsche 911
convertible was damaged by fire while parked in his driveway Cudi said he was at a friend’s house when his dogsitter called and told him his car was on fire. Jurors were shown photos of the car’s red leather interior scorched and burned, with a hole apparently cut in the fabric roof. A Molotov cocktail was found on the passenger seat, Cudi said.
Cassie, whose legal name is Casandra Ventura, testified last week that Combs threatened to blow up Cudi’s car and hurt him after he learned she was dating the Grammy Award-winning rapper Cudi said he didn’t have conflicts at the time with anyone other than Combs.
“I knew he had something to do with it,” Cudi said, leading Combs’ lawyers to object. Jurors were told to disregard the remark. Cudi told jurors he met with Combs the next day at a Los Angeles hotel to try to smooth things over “After the fire, I said this is getting out of hand. I need to talk to him,” Cudi said. At the end of the meeting, as they stood and shook hands, Cudi said he asked Combs: “What are we going to do about my car?” Cudi said Combs gave him a “very cold stare” and responded, “I don’t know what you’re talking about.”
Cudi thought “he was lying” but let it go, and there were no more episodes at his house. A few years later, Combs apologized “for everything” when they ran into each other at a hotel, Cudi testified




BY AMANDA SEITZ and MICHELLE L. PRICE Associated Press
WASHINGTON — A government report released on Thursday covering wide swaths of American health and wellness reflects some of the most contentious views on vaccines, the nation’s food supply pesticides and prescription drugs held by Health and Human Services Secretary Robert F. Kennedy Jr
The much-anticipated “Make America Healthy Again” report calls for increased scrutiny of the childhood vaccine schedule, a review of the pesticides sprayed on American crops and a description of the nation’s children as overmedicated and undernourished.
“Never in American history has the federal government taken a position on public health like this,” Kennedy told a group of MAHA supporters during an event unveiling the report on Thursday While it does not have the force of a law or official policy, the 69page report will be used over the
Continued from page 1A
this year, thanks to warm temperatures in the Atlantic Ocean and a lack of wind shear Of those, six to 10 are expected to become hurricanes, and three to five of those are expected to become major hurricanes of Category 3 strength or more
An average season ends with 14 named storms, seven hurricanes with three major hurricanes.
“Warm sea surface temperatures are probably the No. 1 contributor to the whole thing,” National Weather Service Director Ken Graham said, because they provide the fuel tropical storms need to form and grow
Another factor is the unlikely return of El Niño, which is generally associated with higher wind shear and less tropical activity in the Atlantic. Instead, Graham said neutral conditions are likely to continue through much of the summer, so the wind shear that helps disrupt and tear cyclones apart won’t be as active. An active African monsoon season could also aid storm formation this year, Graham said, helping to “launch out the waves, launch out the storms.”
“Everything is in place for an above-average season,” Graham said. “... So we’ve got to be prepared right now.”
NOAA’s highly anticipated forecast offers a first look at what residents in hurricaneprone areas along the Atlantic coast can expect in the coming season, which runs from June 1 through Nov 30 Better outlook than 2024
This year’s outlook is less alarming than the preseason forecasts for 2024, when researchers warned it could be among the harshest hurricane seasons in history.
next three months for the MAHA commission to fashion a plan that can be implemented during the remainder of President Donald Trump’s term.
Speaking to MAHA supporters at the White House on Thursday, Trump praised the report.
“There’s something wrong and we will not stop until we defeat the chronic disease epidemic in America.”
Kennedy refused to provide details about who authored the report.
Increased scrutiny of childhood vaccines — credited with saving millions of people from deadly diseases — figures prominently in the report. It poses questions over the necessity of school mandates that require children to get vaccinated for admittance and suggestions that vaccines should undergo more clinical trials, including with placebos.
Kennedy, a longtime vaccine critic, has raised doubts about the safety of shots even as a measles outbreak has sickened more than
Researchers predicted 17 to 25 named storms, eight to 13 hurricanes and four to seven major hurricanes of Category 3 strength and above. That was “right on the money,” NOAA Administrator Laura Grimm said Thursday The 2024 season ended with 19 named storms and 11 hurricanes, with five classified as major hurricanes, making it an extremely active” season by NOAA standards.
That’s still fewer than the record 30 named storms that formed in 2020, and the 2005 record of 15 hurricanes.
Though meteorologists across the country have voiced concerns about weather forecasting capabilities amid the Trump administration’s cuts to NOAA, Grimm said “the National Hurricane Center is fully staffed up and ready to go” for the 2025 season
Grimm declined to answer questions about how many NOAA employees had been fired, and whether the cuts could impact local and national forecasting
20 years since Katrina
Thursday was the first time in 10 years that NOAA presented its annual forecast in the New Orleans area, and, like in 2015, Louisiana hosted the event to commemorate Hurricane Katrina.
August marks 20 years since the devastating storm ripped through Louisiana and Mississippi, laying the groundwork for the infamous levee failure that flooded New Orleans and killed hundreds.
Graham said NOAA has been busy since then, making “incredible strides” in hurricane forecasting accuracy
He touted NOAA’s improvements in track accuracy, saying its hurricane models had an average track error of 460 miles five days out in 2005. Today that’s down to 200 miles, he said.
1,000 Americans This week, Kennedy’s health department moved to limit U.S. access to COVID-19 shots.
The report does not provide any evidence that the childhood vaccine schedule, which includes shots for measles, polio and chickenpox, is to blame for rising obesity diabetes or autism rates, said Amesh Adalja, an infectious disease physician at Johns Hopkins University
“It’s not as if they’re positing any kind of causal link,” Adalja said, adding that Kennedy is “is trying to devalue vaccines in the minds of Americans.”
Parts of the report highlight growing factions within the Trump administration’s MAHA movement, even as the report strained to appease opposing forces within the politically diverse coalition that Trump and Kennedy have fostered.
The report makes dozens of references to dietary guidelines and standards in Europe, but Environmental Protection Agency head Lee Zeldin promised it would not
That means entire cities that once would have been forced to evacuate in the face of a storm could now confidently stay put.
“The modeling has never been better,” Graham said. “Our service has never been better Our ability to serve this country has never been better And it will be this season as well.”
Jefferson Parish President Cynthia Lee Sheng said the same is true for local emergency management operations.
“Our region is much better off today than we were then,” she said.
The parish president has poised herself as a national voice on local emergency management over the past year as co-chair of a FEMA task force for the National Association of Counties, and a speaker at this year’s National Hurricane Conference.
She said disaster mitigation since 2005 has saved the U.S. an estimated $13 for every dollar spent, citing data from the National Institute of Building Sciences.
By the time Category 4 Hurricane Ida hit the New Orleans area in 2021, Lee Sheng said it “put our system to the test, and our system withstood the challenge,” even as the parish amassed $28 million worth of damage to its water lines. Graham commended Lee Sheng for her administration’s disaster preparation and response.
“Jefferson Parish is a model for all,” he said. “Jefferson Parish really is a model for the state and the country.”
How 2025 and 2024 differ
Two major differences led to this year’s less severe outlook, said lead NOAA hurricane forecaster Matthew Rosencrans: sea surface temperatures and La Niña.
Sea surface temperatures in the Gulf of Mexico and

yield more rigorous regulations.
“This cannot happen through a European mandate system that stifles growth,” Zeldin said in a call with reporters.
Despite numerous studies and statements throughout the MAHA report that raise concerns about American food products, Trump Cabinet officials insisted during a call with reporters on Thursday that the nation’s food supply is safe.
The report mentions that glyphosate, a commonly used chemical sprayed on crops, may cause serious health problems, including cancer The World Health Organization has said that the chemical is a probable carcinogen to humans, although the U.S. Environmental Protection Agency has said it is unlikely
Farmers, who alongside Republican lawmakers — hounded the Trump administration leading up to the report’s release swiftly criticized the report’s comments on the chemicals.
“The Make America Healthy Again Report is filled with fearbased rather than science-based information about pesticides,” the National Corn Growers Associa-
the globe.
Caribbean Sea are hovering around the mid-80s right now, about 1 to 3 degrees above average. But temperatures across the rest of the Atlantic are near normal, Rosencrans said, and some spots in the eastern Atlantic are even below the usual.
This time last year, however, temperatures across the entire Atlantic were 2 to 3 degrees above normal, soaring to near record highs.
“So the entire Atlantic basin was just cooking,” Rosencrans said.
Rosencrans said forecasters last year also thought La Niña, which is associated with an uptick in Atlantic tropical activity, would return by peak hurricane season.
El Niño and La Niña are two opposing climate patterns that disrupt normal wind and current conditions in the Pacific Ocean, impacting weather patterns across

tion said in a statement.
But Kennedy’s MAHA supporters were also disappointed, saying the report didn’t go far enough when it came to chemicals used on crops.
“If the Trump White House and Republicans don’t take pesticides and glyphosate’s link to human health issues seriously, it will cost them the MAHA vote in the midterms,” said Dave Murphy, a former Kennedy fundraiser who spearheaded a push for the issue to be addressed in the report.
Talking about the report on Thursday, Trump reiterated his “love” for farmers.
Agriculture Secretary Brooke Rollins acknowledged the tight rope Trump officials are walking to keep farmers, many of them in Republican-leaning states, happy while also working to satisfy Kennedy’s eclectic and health-conscious following.
“Do all of us agree on everything? Of course not,” Rollins said. “But the place that we have landed, which is, I think all of us agree, is that this is not a binary choice between an industry, agriculture and health.”
La Niña conditions emerged in December 2024, months after forecasters initially predicted its return. But it was a short-lived and weak event, and the northern hemisphere returned to a neutral phase by April.
There’s a 54% chance those neutral conditions will continue through hurricane season Rosencrans said Neutral conditions are better news for the Gulf Coast than La Niña, but tend to pump out more storms than El Niño.
“We do know that during neutral events we end up with about two and a half to three more named storms than we would during El Niño events,” Rosencrans said.
African monsoons
Still, Rosencrans said this year’s African monsoon outlook is even more favorable
to storm formation than last year’s.
West Africa is a region that Rosencrans said provides the seeds that so often grow into major storms in the Atlantic: About 80% of major Atlantic hurricanes start as waves that come off of Africa, he said. The intensity of those waves is impacted by Africa’s monsoons. If the rains are heavier than usual, or inch too far north toward the Sahara Desert, it creates a bigger contrast between the heat of the desert and the cool rainy areas. “And that intense temperature difference can lead to growth in the waves,” Rosencrans said.
Lara Nicholson contributed to this story
Email Kasey Bubnash at kasey.bubnash@ theadvocate.com.














April home sales slow, put chill intobuying
Salesofpreviously occupied
U.S. homes fell in April, as elevated mortgagerates and rising prices discouraged prospective homebuyers during what’straditionallythe busiesttime of the year for the housing market.
Existing home sales dropped 0.5% last month, from March, to aseasonally adjusted annual rate of 4million units, the National Association of Realtors said Thursday.The sales decline marks the slowestsales pace for the month of April going back to 2009 in thewake of the U.S. housing crisis. March’ssales pace was also the slowest for that month going back to 2009. Sales fell 2% comparedwith April last year.The latest home salesfell slightly short of the 4.10 million pace economists were expecting,according to FactSet. New Orleans and Baton Rouge also saw adrop in home sales during April. Sales were 10.3% lower in metro New Orleans last month, when compared to ayear ago, with 1,015 houses changinghands, according to numbersfromthe New Orleans Metropolitan Association of Realtors.Metro Baton Rouge had a 2.5% drop in sales in April when compared to April 2024, with 796 closed sales, accordingtothe Greater BatonRouge Association of Realtors. Home prices increased on an annualbasis forthe 22nd consecutivemonth, although at the slowest rate since July 2023. The nationalmedian sales price rose 1.8% in April from ayear earlier to $414,000, an all-time high for the month of April. Median sale prices were up 0.7% in New Orleans, but down 1.4% in Baton Rouge when compared to ayear ago.
Mercedes-Benz will establish HQ in Georgia
Mercedes-Benz announced Thursdaythat it plans establish its North American headquartersinmetro Atlanta, where the automaker will expand itsexisting U.S. corporate hub by adding hundreds of jobs relocated fromother cities
The change will add about 500 jobs to the Georgia facility that has served as Mercedes-Benz’s U.S. headquarters since 2018.It employs about800 people currently. The German automaker said in anews release that it also plans to add anew,multimilliondollar research and developmentcenternearby
Most of the additional jobs coming to Sandy Springs north of Atlanta are being moved from the Detroit area, where Mercedes-Benz is closing its financial services headquarters.
Mercedes-Benz saidthe headquartersexpansion in Georgia should be completed by August 2026. Porsche also has itsNorth American headquarters outside Atlanta.
FTC dismisses lawsuit against PepsiCo
The Republican-controlled Federal Trade Commission voted Thursday to dismiss a lawsuit against PepsiCothat theprevious commission filed in the waning days of the Biden administration.
The lawsuit, filed in January, alleged that PepsiCo wasgivingunfair price advantages to Walmart at the expense of other vendors and consumers. The lawsuit had relied on the rarely enforced 1936 Robinson-Patman Act, which it said prohibits companies from using promotional incentive payments to favor large customers oversmaller ones.
Whenthe lawsuit wasfiled, Democrat Lina Khan was the FTC’schairwoman, and she was joinedinsupport of the lawsuit by DemocraticCommissioners Rebecca Slaughter and Alvaro Bedoya. At the time, RepublicanCommissioners Andrew Fergusonand MelissaHolyoak dissented.
Ferguson, who is now the chairman of the FTC, said Thursday that the PepsiColawsuitwas a“dubious partisan stunt” and FTC staff had more important work to do.






BY DAMIAN J. TROISE Associated Press
NEW YORK Stocks drifted to a mixedclose on Wall Street Thursdayinwhat hasbeen arocky week so far.
Trading remained choppy throughout most of the dayfollowingWednesday’sbig slumpfor the S&P 500. The S&P 500 and the Dow Jones Industrial Averagefell sightly.The Nasdaqcomposite had amodestincrease Technology stocks did most of the heavy liftingfor thebroader market. The majority of stocks within theS&P 500 lost ground, but gains for technology companies with outsizedvalues offset thoselosses.
Google’s parent Alphabetjumped 1.4% and Nvidia rose 0.8%.
The choppy trading this week andsharp decline for stocks on Wednesday follows several weeks of mostly gains that have brought theS&P 500 backwithin5%ofits all-time high. TheS&P 500 is potentially heading towardits worst week in the lastseven.
“We’ve hadagood bouncehere, butthe market is looking for some excusetotake some money off the table,” said Scott Wren, seniorglobal market strategist at Wells Fargo Investment Institute.
Treasury yieldshelda bitsteadier in thebondmarket, butonlyafter oscillating earlier in the morning after the House of Representatives approveda bill that would cuttaxes and could add trillions of dollarsto the U.S. debt.
The House’smultitrillion-dollar spending bill, whichaims to extend some $4.5trillion in tax breaks from President DonaldTrump’s first term whileaddingothers, is expected to undergo some changes when it gets to the Senate for avote.
Thelegislation also includes a speedier rollback of production taxcredits forclean electricity projects, which sent sharesofsolar companies tumbling. Sunrun dropped 37.1%,Enphase Energy fell 19.6% and First Solar slid 4.3%.
Health care stocks were also falling early Thursdayafter the Centersfor Medicare &Medicaid Servicessaid it was immediately expanding its auditing of Medicare Advantage plans. UnitedHealth Groupfell 2.1% andHumana lost 7.6%. Wall Street had several economic updates on Thursday
The number of Americans filing unemployment claims last week fellslightly. Thebroaderemployment market has remained strong, though businesses remain worried aboutthe economicuncertainty amid atrade war
The market had briefly turned higherearlierinthe dayfollowing abetter-than-expected report on manufacturing and services in the U.S. The surveyfrom S&P Global showed growth for both areas in May following asluggish April. “Business confidence has improved in May from the worrying slumpseen in April,with gloom about prospects for the year ahead lifting somewhatthanks largely to the pause on higher rate tariffs,” said ChrisWilliamson, chief business economist at S&P GlobalMarket Intelligence.

BY STAN CHOE Associated Press
NEWYORK Wall Street’squiet corner is makingnoise again.
While the bond market is typically seen as slower moving, it can pack aheavy punch when it’salarmed. And right now, it’s getting worriedabout howmuchmoreWashingtonis preparing to pile onto itsspiraling mountain of debt becauseofits desire to cuttaxes.
In the past, angry reactions from the bond market have been so strong that they’ve forced governmentstobacktrack on policies andeven led to theousterofsomepolitical leaders. To be sure,many veteran investors say it wouldbeoverblown or at leastpremature to say “bond-market vigilantes” are rounding up this time around, because yields have not jumped high enough to indicate a crisis. Butthe higher yields will nevertheless have wide-reaching effects
“I wouldn’tlook at this from an apocalyptical dynamic, but thereare real ramifications,” said NateThooft,asenior portfolio manager at Manulife Investment Management. “Look at mortgage rates.” The centerpiece of the U.S. bondmarket is the10-year Treasury,and its yield has climbedto4.54% from4.43% at the end of last week and just 4.01% early last month. That’sa notable move for the bond market, which measures things in hundredths of percentage points
That yieldshows roughly how much in interest the U.S.government needs to pay investors to getthem to lend it cash for10 years. Washington needs that cash because it consistentlyspendsmore than it takes in through taxrevenue. And when bond investors aremorewaryoflending to the U.S. government,yields for Treasurys rise.
The moves have been sharpest for the longest-term bonds. The yield on a30-year Treasury has topped 5% andisgetting close to whereitwas before the 2008 financial crisis wiped out interestrates Bond investors hate inflationbecause it
means the future payments thatbonds will give them won’tbeable to buy as much stuff.
Worries are rising about the potential for higher inflation for acouple reasons. On one hand are President Donald Trump’stariffs, which could push up prices forall kinds of products. Abigger,more long-term concern is how muchdebt the U.S. government is building up.
Those debt concerns gained momentum at the endoflastweek after Moody’sRatings becamethe last of the three majorrating agencies to saythe U.S. government no longer deserves atop-tier credit rating because of itstroubleskeepingits debt in check. The worries thenbuilt through this week as the House moved forward on its tax-cut bill that it approved early Thursday
Other factorshavealso been pushing yields up recently,including increasing hopes that the U.S. economywill not fall into arecession after Trump delayed many of his stiff tariffs, particularly againstChina. In the past, the bond market has recoiled at policies that it’s found distasteful. Sometimes, the reactionis violent enough to scare politicians.
U.S. Mint will stop producingpennies,Trump administration says
That createsnew problem: demand fornickels
BY FATIMA HUSSEIN and ALAN SUDERMAN Associated Press
WASHINGTON The Trumpadministrationsays making cents doesn’t make sense anymore.
TheU.S. Minthas madeits final orderofpenny blanks and plans to stopproducing the coin when those run out, aTreasury Department official confirmed Thursday.This move comesasthe cost of making pennieshas increased markedly,by upward of 20% in 2024, according to the Treasury By stopping the penny’sproduction, the Treasury expects an immediate annual savings of $56
million in reduced material costs, according to the official,who was notauthorized to discuss thematterpublicly and spoke on condition of anonymity to preview thenews
In February,President Donald Trump announced that he hadorderedhis administration to cease production of the 1-cent coin.
“Forfar too long the United States has minted pennies which literally costusmore than 2cents. This is so wasteful!”Trump wrote at that time in apostonhis Truth Social site. “I have instructed my Secretary of the US Treasury to stopproducing newpennies.”
Thereare about 114 billion penniescurrently in circulation in the United States —that’s $1.14 billion —but they are greatly underutilized, according to the Treasury Thepenny was oneofthe first coins
made by the U.S. Mint after its establishment in 1792. Advocates for ditching the penny cite its high productioncost —almost 4cents perpenny now,according to the U.S. Mint —and limited utility.Fansofthe penny cite its usefulness in charity drives and relative bargain in production costs compared with the nickel, which costs almost 14 cents to mint. Pennies are themostpopular coin madebythe U.S. Mint, which reported making 3.2 billion of themlastyear.That’smore than half of allthe new coins it made last year Congress,whichdictatescurrency specifications such as the size andmetalcontent of coins, could make Trump’s order permanent through law.But past congressional efforts to ditch the penny have
failed. Jay Zagorsky,professor of markets, public policy,and law at BostonUniversity,said thatwhile he supports the movetoend penny production, Congress must include language in any proposed legislation to require rounding up in pricing, which will eliminate the demand forpennies.
Zagorsky,who recently publisheda book called“The Power of Cash:Why Using Paper Money is Good forYou andSociety,”said otherwise simply ditching the penny will only increase demand for nickels, which are even more expensive, at 14 cents to produce.
“Ifwesuddenly have to produce alot of nickels—and we losemore money on producing every nickel —eliminating the penny doesn’t makeany sense.”
massive rewrite.
A buoyant Steve Scalise, R-Jefferson and the House majority leader, told reporters moments after the vote: “With this One Big Beautiful Bill, House Republicans are answering that mandate and implementing President Trump’s America First agenda, delivering on our promises and providing relief to American families who’ve been struggling for too long.”
Johnson said “It revives our economy It will deliver historic tax relief. It will make the largest investment in our border security in a generation. It will unleash affordable American energy again, restore common sense to government, secure generational savings and strengthen our national defense.”
U.S. Sen. Bill Cassidy, R-Baton Rouge, passed along his congratulations via X. “Now the Senate must deliver on a package that meets President Trump’s goal of addressing the debt, keeping the American Dream alive, and unleashing American energy.”
La. delegation’s votes Johnson; Scalise; Rep Clay Higgins, R-Lafayette; and Rep. Julia Letlow, R-Start, joined every Republican but three in approving the legislation.
“I voted yes,” said Letlow, “because of the lower taxes this bill provides to Louisiana’s working families — specifically a higher standard tax deduction, a more generous child tax credit, and an elimination of taxes on both tips and overtime.”

House Freedom Caucus leader Rep. Andy Harris, R-Md., voted present thereby changing the numbers needed for a majority Rep. Thomas Massie, R-Ky., and Rep. Warren Davidson, R-Ohio, joined every Democratic member in voting no on the bill. Rep. Troy Carter, D-New Orleans, and Rep. Cleo Fields, D-Baton Rouge, voted against the legislation.
Democrats argued the bill gutted the social safety net for lowerincome Americans in order to pay for tax breaks that mostly helped those with higher incomes.
“Yes, we were outvoted — by just one vote,” Carter said. “To every American watching, know this: We will not back down We will continue to fight for what is right,
Landry and legislators have been pulled by both sides throughout with Temple and his business allies on the offensive and trial lawyers and their allies playing defense.
what is just, and what is humane.”
“There is nothing beautiful about a bill that could strip vital health care and food assistance from millions of Americans, in addition to taking away critical federal funding from states like Louisiana,” Fields said. “If this budget gets passed into law as it is currently written, Louisiana stands to lose more health care funding than any other state.”
Carter and Fields have repeatedly pointed out that Louisiana has one of the highest percentages of residents on Medicaid. Louisiana health care leaders have been scrambling to understand how exactly the GOP plan, which has been open to change over the past few weeks, would affect the state’s
meeting in the Senate dining room: The Senate would approve five bills.
health care system.
What the bill does
Johnson and Scalise, the top two leaders in the House, won over key Republican holdouts with an assist by Trump.
The president, joined by Johnson and Scalise, met in the White House with right-wingers who had opposed the thousand-plus-page bill Fiscal conservatives argued that cuts to Medicaid and other social safety net programs weren’t deep enough, while the tax breaks and increased immigration and military spending would add $3.8 trillion to the nation’s $36 trillion debt. The deficits has grown geometrically since Trump’s first term. The
HB436 requires the House to accept the Senate changes to the bill.
U.S. now pays more on interest than it does on the military Trump, Johnson, Scalise and GOP leaders argue that the cuts in social safety net programs, tax breaks, immigration restrictions, and other portions of the legislation will supercharge the nation’s economy, generating more tax revenue.
“President Trump’s One Big Beautiful Bill unleashes Louisiana energy and increases the cap on GOMESA from $500 to $650 million/year. It lowers taxes for Louisiana families and allows us to properly secure the border,” Gov Jeff Landry texted soon after the vote. “It’s exactly why Louisiana voted for President Trump, and Speaker Johnson and Majority Leader Scalise did a great job getting it to the finish line delivering win after win for Louisiana.”
GOMESA refers to the Gulf of Mexico Energy Security Act, which determines how much money states receive oil production in federal waters off their shores. The new higher caps mean Louisiana could get $50 million more a year for coastal protection and restoration.
Greater Lafourche Port Commission Executive Director Chett Chiasson said in a statement: “I’m pleased to see American energy become a national priority once again with the One, Big Beautiful Bill that not only raises the revenue sharing amount our state receives for coastal restoration but also mandates 30 new Gulf of America lease sales to ensure there are future GOMESA dollars to go to the states.”
Email Mark Ballard at mballard@theadvocate.com.
worth.
pro-insurance industry bills that passed but slammed the rate increase bill
“It’s a false claim that rates are high because the commissioner doesn’t have some magical power,” he said. “It doesn’t address the fundamental problem in Louisiana — bodily injury and legal abuse.”
In sum, senators said Landry emerged as the big winner politically, while Temple and the insurance industry appear to have had mixed results, with trial lawyers seemingly on the losing end Wednesday’s late night action sets up Landry to sign a raft of car insurance bills as early as Wednesday next week, legislative sources said.
He will sign all five bills passed by the Senate on Monday night, the Governor’s Office said Thursday, although whether all five bills will have won final House approval by then is not clear
The fight over how to address high car insurance rates has been the highest profile political battle since the legislative session began in mid-April
Continued from page 1A
contract to provide online educational courses through the LDWF to boaters and hunters applying for licenses or required to take the courses because they were issued citations.
The conspiracy, according to the indictment, ran from around May 2020 until June 2022. It allegedly
The governor has repeatedly positioned himself in the middle, saying he doesn’t like billboard lawyers (although he went turkey hunting in Texas with several prominent trial attorneys just before the session began) but also believes that insurance companies are earning big profits in Louisiana.
In a speech Thursday in New Iberia, Landry said a study by the National Association of Insurance Commissioners shows that Louisiana is an outlier on one key metric:
“Our minor injury claims are double the national average,” he said.
Temple has said Louisiana has had twice as many minor injury claims as New York even though that state counts five times as many residents.
Senate President Cameron Henry has been talking with Landry and Senate colleagues for days about how to handle the nearly 20 pro-insurance industry bills that passed the House.
Henry, R-Metairie, outlined his plans to Republican colleagues Wednesday afternoon in a private
involved others not named in the indictment including a company referred to as Company A, a software development business in Baton Rouge.
Company A allegedly provided online payment processing and collected proceeds for Franques’ DGL1 and remitted the money to the bank account of another Franques business, LWF LLC, registered with the Louisiana Secretary of State in June 2020. Between Nov 10, 2021, and June
House Bill 450 by Rep. Michael Melerine, R-Shreveport, would require someone who sued over injuries in a car accident to show that the injuries actually occurred during the accident. HB450 goes to Landry for his signature.
House Bill 434 by Rep. Jason DeWitt, R-Alexandria, would disallow a driver without car insurance from collecting an award for bodily injury medical expenses for any amount below $100,000, up from $15,000 today HB434 also goes to Landry for his signature.
House Bill 431 by Rep. Emily Chenevert, R-Baton Rouge, would bar drivers responsible for at least 51% of an accident from receiving a damage award to cover their injuries. Under current law, a driver responsible for, say, 51% of the accident can collect a payment equal to 49% of the overall damage award Because of an amendment added to the bill, HB431 needs House approval before it can become law
House Bill 436 by Rep. Gabe Firment, R-Pollack, would prohibit undocumented immigrants who are injured in car accidents from collecting general damages.
10, 2022, $122,507 in kickbacks was withheld for Montoucet until he retired as LDWF secretary, a Justice Department news release on Wednesday stated.
The indictment released Thursday however shows at least three payments comprising the three wire fraud charges: Nov 10, 2021, $53,085; Dec. 15, 2021, $103,302; and Jan. 14, 2022, $57,951, for a total exceeding $200,000.
After Montoucet’s retirement, Franques was supposed to hire



Senate Bill 231 by Sen. Mike Reese, R-Leesville, would allow lawyers for insurance companies to tell jurors how much people injured in wrecks actually pay in medical bills. Under current law, jurors hear the total amount billed, regardless of what the plaintiff paid. A House committee is slated to take up SB231 next week.
Temple said HB431, HB450 and SB231 would “move the needle forward.”
Senate Democrats argued against the five bills, saying the Legislature has passed a host of pro-industry bills over the years, yet rates never come down.
Luneau, Sen. Sam Jenkins, of Shreveport, and Sen. Royce Duplessis, of New Orleans, all offered amendments to the Republican-sponsored bills that, if passed, would mandate a 2% reduction in rates. Republicans rejected those amendments on each bill.
Democrats also pointed to an April report by the National Association of Insurance Commissioners which said that in 2023, insurance companies in Louisiana had the third highest underwriting profit, the fourth lowest loss ratio and the fifth highest return on net
him and pay him a “signing bonus” that consisted of the withheld kickbacks.
Montoucet was planning to retire at the end of former Gov John Bel Edwards’ term in office in January 2024. He instead resigned in April 2023 after the indictment of Guidry revealed a scheme in which a LDWF official allegedly entered into a contract on Oct. 8, 2021. Montoucet was the only LDWF official to sign the contract, the agency records show
As part of Henry’s plan, the Senate also would adopt HB148 — the measure that Landry most wanted and that Temple didn’t want — after it had been amended. HB148 is the only bill Landry testified in favor of during the legislative session, saying last month that Temple should want to have greater authority to hold down rates. Senators expressed reluctance privately in recent days to advance the bill because it didn’t require the commissioner to cite actuarial data in rejecting proposed rate increases.
But Landry lobbied hard to get them to approve it Monday night, senators said Thursday. The amended version now includes actuarial language.
Sen. Kirk Talbot, a River Ridge Republican and a close friend of Henry’s, pushed the bill through the Senate.
That task fell to Talbot even though he has been one of the insurance industry’s strongest allies. Talbot didn’t return a phone call Thursday HB148 returns to the House for approval of the Senate changes. Email Tyler Bridges at tbridges@theadvocate.com.
Federal investigators used wiretaps to listen in on conversations among the co-conspirators. The indictment cites an Oct. 4, 2021, conversation in which Montoucet allegedly told Guidry that he “can’t have no record” of kickbacks.
Montoucet, Franques and Guidy allegedly met in Scott, where Montoucet has a residence, and agreed Franques would hold Montoucet’s share of the kickbacks until he retired, the indictment states.






































































































































BY JOANNA BROWN |Staffwriter
Anew market pavilion is set to open this fall at Moncus Park. The 3,000-square-foot, open-air building will serve as the new home for the Lafayette Farmers &ArtisansMarket, providingcovered space for vendors and visitors at the popular weekly event.
For more than 10 years now,around 120 food and craftvendorshaveset up formarket every week undera stand of oaks near Johnston Street that serve as acanopied entrance to the park.The farmers market is held from 8a.m. to nooneach Saturday, and brings an average of 3,000 people to MoncusPark each week
With the addition of apavilion, marketvisitors can enjoy additional shade, bathrooms, cooling fans and a back porch looking out overthe rest of the park.The pavilion hasenough space to hold about 30vendors,with the rest using thepark’slong-standing market space underneath the oaks.
On Thursday thepavilion was opened to funders, MoncusPark foundation representatives and the community for asneak peek of the new facility. Moncus Park representatives said they anticipate opening the pavilion in the fall

“The marketisthe heartbeat of our community,every Saturday morning,” said Moncus Park executive director JP MacFadyen.
“Weare really, truly creatinga community front porch —aplace thathonors our culture and cultivates all of ourconnectionstoone another.”
The pavilionwill be named for Paul A. Doerle Sr thefounder of Broussard-based Doerle Food Services, which was acquired by Sysco Acadiana in 2018.Paul Doerle’s daughter, Carolyn Schumacher,was the
BY CLAIRE TAYLOR |Staff writer
Representatives of Lafayette Parish agencies, first responders and nonprofits were among those testing an updated emergency operations plan Tuesday during atabletop hurricane exercise designed to identify shortfalls and correct them before the 2025 hurricane season begins June 1.
Lafayettereceiveda grant in 2024 to update its emergencyoperations plan, ChadSonnier, director of Lafayette’sOfficeofHomelandSecurity and Emergency Preparedness, said prior to theexercise.
Thepurpose,Sonnier said,istoworkout the kinks and gaps in the plan in alow-stress environment andtoknowwho haswhatresources and is responsible forwhich response during the emergency Participants were given ahurricane emergencyscenarioand tested howpreparedthey were five days out, threedaysout andone day out to respond and coordinate responses with other agencies including various Lafayette ConsolidatedGovernment departments such as fire, police, utilities, animal control, even the legal department responsible forwriting emergency declarations,saidJamieBoudreaux, LCGchief communications officer
Other participants included representatives of theLafayette Parish Sheriff’s Office, mayor’s offices andlaw enforcementinother Lafayette

Agrand jury on Wednesday returned an indictment for Jarvon Brian Montague, who was charged with murder in connection with asuspicious deaththat occurred in Lafayette Montague, 46, of New Iberia, faces aseconddegree murder charge related to the death of ShanteeBroussard, 44, of Lafayette.
CRIME BLOTTER Advocate staff reports

On Feb. 20, police went to the 300 block of Carmel Drive in response to acall for medical assistance, according to police.
Officers assisted paramedicsproviding CPR to Broussard, who was taken to alocal hospital and later pronounced dead Preliminary investigation revealed that Broussard had been involved in adomestic altercation with Montaguebefore her death. An autopsy conducted on Feb. 21 indicated Broussardsuffered injuries Manindicted
They sayrequirement to useEPA equipment violates speech
BY JOSIE ABUGOV |Staff writer
Agroup of environmental advocacy organizations across Louisiana filed a federal lawsuitagainstthe state on Thursday over alaw that they say “effectively bans” communitygroups from publicly sharingtheir airpollution monitoring findings or advocating for redress.
Filed in U.S.District Court for the MiddleDistrictofLouisiana in Baton Rouge, the lawsuit opposes the Louisiana CommunityAir Monitoring ReliabilityAct, signed by Gov.Jeff Landry last year.The law requires community groups to usethe latest Environmental Protection Agency airmonitoring equipment in order to allege violationsofthe Clean Air Act or other laws.
Data produced solely from community air monitoring programs does not meet the standard alonetoshowthat an industrial facility is violatinga rule
or permit, according to thestate law
Supportersofthe law argue that it centralizes air monitoring standards, but opponentssay it limitscommunity groups from publicly discussing the datathey collect from cheaper devices for fear of hefty fines.
Somegroups, for instance, have stopped publishing their findings on social media due to thesepenalties, according to anews release from the Environmental Integrity Project.
“This new law is ablatant violation of thefreespeechrightsofcommunitymembers to use their own independent airpollutionmonitoring to raise alarms about deadly chemicals being releasedintotheir ownhomes and schools,” saidDavid Bookbinder, thepolicy and law director at the Environmental IntegrityProject. TheLouisiana Chemical Association argues thatthe law does not prevent community groups from collecting or sharing their data.
“Community members are fully free to raise concerns, publish findings, andengagewith thepublic or agencies to promoteawareness,” said David
BY MEGHAN FRIEDMANN |Staff writer
Lawmakers are seeking to streamline how Louisiana administers social safety netprograms, with the ultimate goal of creating a one-stop shop where Louisianans can access mostbenefits. Underthe plan, theLouisiana Workforce Commissionwould eventually takeoverthe public-facing functions of connecting people withbenefits like food stamps and possibly even Medicaid, rather than having them visit multiple agencies to get what they need. Meanwhile,the DepartmentofChildren and Family Services would step away from its role administering two major federalprograms, including SNAP benefits and Temporary Assistance forNeedy Families (TANF) funds. Lawmakers behind the proposal,which is backed by Gov. Jeff Landry,say integrating public assistance programs withLouisiana
BillsmoveSNAP, TANF outof DCFS to otherdepartments ä See PROPOSAL, page 4B
In America, asbestos usage reached its peak after the Second World War, whenover 1,400 million pounds were used for civilian and military purposes.
The U.S. military,inparticular, had astrong affinity for asbestos, using this material in virtually any army installation, in its famous Liberty ships from World WarII, as well as in tanks and airplanes.


However,asbestos is highly toxic. As this mineral causes chronic effects, such as cancers even decades after exposure,it took almost half acenturyfor health authorities to make this connection and eventually lead to aban on asbestos.
Unaware of any health dangers, people working with asbestos from the mid-1950s up until the 1970s had no protection against
Kratom
these toxic fibers. Today,cases of lung cancer,asbestosis and mesothelioma from asbestos exposure occurringatthistime arestill being diagnosed. Among these conditions, mesothelioma is themost complicated todiagnose and treat With under 3,000cases diagnosed annually in America, research efforts to develop bettercarepathwaysare minimal.
The Centersfor Disease Control andPreventionproposed aNational Mesothelioma Registry to addressthis problem. Cases recorded in theregistry aim to enhance researchers’access to patients and thus prompt the development of better diagnosis methods and treatments that would prove to be curative.
Nonetheless, sixyearshave passed since this proposal, and the registry has notbeenimplemented.Inthe meantime, people witha diagnosis face limited prospects.
Mesothelioma is highly prevalent among veterans. This popula-
tioncarriesa substantialrisk of developing mesothelioma, not only becauseoftheir service in the U.S. militarybut also because of industrialexposure, as many wereemployed in asbestos-related industries after service. For these people, anational registry can significantly improve detection rates, prompt research on developing better therapies and createasystemfocused on ararebut deadly disease.
Although asbestos-related diseases affected veterans across America, people living in coastal statesand working in theNavy have asix times higher risk of developing mesothelioma. This elevated risk is mainly due to the extreme conditions aboardnaval ships, whereasbestos was heavily relied upon for insulation and fireproofing. Boiler rooms, engine rooms and other confined spaces werepacked with asbestos materials to manage the intense heat and prevent fires, two constant threats
In war,there are explosions. In peace, there is the silence that follows, often harder to endure.
For many veterans, that silence is filled with pain, not just physical but systemic. Not just personal but political.
in maritime environments. As acoastal state, Louisiana has astrong link with the asbestos industry,but also with other industrialtoxic chemicals. Its long environmental exposure history led to what is nowknown as Cancer Alley, an 85-mile stretch along the Mississippi River between Baton Rouge and New Orleans, densely packed with petrochemical plants and industrial facilities.
This region suffers from some of the highest cancer rates in the U.S., mainly due to decades of toxic emissions, environmental pollution and hazardous workplace exposures like asbestos. In light of this history,between 1999 and 2017, Louisiana recorded 5,092 asbestos-related deaths, including 927 from mesothelioma and 491 from asbestosis.
In East Baton Rouge Parish alone, an estimated 395 asbestosrelateddeaths were reported during this period.
Today,Louisiana is home to over
211,000 veterans, many of whom served during the peak years of asbestos use in the military following the 1940s. These veterans carry an even greater risk of developing mesothelioma, yet they remain chronically underserved by the current health care and reporting systems. Delays in diagnosis, limited access to specialized treatment and the absence of acoordinated tracking network continue to hinder their chances of receiving timely and effective care. Advocacy for implementing aNational Mesothelioma Registry is necessary to close this gap. Without decisive action, countless veterans will continue to slip through the cracks of abroken system, facing adevastating disease without the support they deserve.
Jonathan Sharp is theCFO at Birmingham-based EnvironmentalLitigationGroup, P.C.
Today,the mightyMississippi River carries morethan amillion cubic feet of waterthrough ourstate every second. It is a force of nature unmatched, unstoppable anddeeply wovenintothe story of Louisiana.


In 2012, after twotours in Iraq and an honorable discharge from the U.S. Army,Imoved to Thibodaux. Iwas seeking stability and education. Instead, Ientered anew battlefield shaped by injury,bureaucracy and pharmaceutical dependence.
While serving in Iraq, Iwas injured by an improvised explosive device. The blast left me with post-traumatic stress disorder and traumatic brain injury
The physical toll got worse. In 2015, I suffered aspinal injury.In2018, acar accident made it worse. Offshore rig work deepened the damage. Chronic pain set in. Like many veterans, Iturned to the system we were promised would care for us. The Department of Veterans Affairs has long relied on opioidsfor pain. Iwas no exception.
When Isought help at arespected pain clinic near Baton Rouge, Iwas told they focused on holistic therapies. Instead, after one appointment,Ileft with 90 hydrocodone pills and no referrals. Over time, the dosage escalated. Hydrocodone became oxycodone. My wife andIbegged for ataperingplan. We were ignored. In late 2019, Inearly died In January 2020, Ientered rehab at the VA’s Gulfport-Biloxi facility and began medically supervised detox. I was put on Suboxone. It numbed me but didn’thelp me recover.Iwas discharged with 90 tablets and anew dependency
That’swhen Ifound kratom. Kratom, aplant from Southeast Asia, is used by millions in the U.S. to manage pain and opioid withdrawal. Veterans in rehab whispered about it. Some used it to taper off stronger drugs.
In February 2020, Ibegan tapering off Suboxone using kratom. Withintwo weeks, Iwas off pharmaceuticals. Ihad symptoms, sweats and chills, but no agony. Icould think. Icould function. I could live. Ihave been sober ever since. Kratom isn’tamiracle or acure. It’s atool that helped me reclaim control.It relievedpain without stealing my clarity or identity.Unlike opioids, it didn’t make me feel less like myself.
Now,Louisiana may criminalizeit. Senate Bill 154 by Sen. Jay Morris, R-

PROVIDED PHOTO
Kratom,anherbal supplement, has been listed as adrugorchemical of concernby theDrugEnforcement Administration.
West Monroe, would classify kratom as aSchedule Idrug, alongside heroin and LSD. Thatdesignation is for substances with no medical use and ahigh potential for abuse. That is not supported by science or lived experience.
If SB154 becomes law,itwon’tjail traffickers. It will jailpeople like me. It will criminalize working people in pain. It will pushkratom underground, replacing regulation with risk.For veterans, it will makesobriety harder and relapse more likely
When Itestified before the House Healthand WelfareCommittee this spring, Ishared my story.Others did too. We were ignored. The bill advanced. Once again, veterans werehonored in words butdismissed in policy We are not rare. Thousands in Louisiana and millions nationwide share this experience. Some live withpain. Others with panic. Many with both. We’re not asking for pity.We’re asking for options
Today,Ivolunteer with my church, help the unhoused, and serveinVFW Post 3784 and American Legion Post 38. My life is grounded in service, but Ihad to rebuildit, andkratom helped. Isupport responsible regulation: age limits, labeling and quality standards Butcriminalization is not regulation. It is abandonmentdisguised as policy To lawmakers in Louisiana: Reject SB 154. If we are called heroes, honor us with more than words. Honor us with a policy rooted in truth,compassion, and dignity
MarlonChouccoliisa U.S. Army veteran and lives in the BatonRouge area.

This powerful river and the coast it built brought ourancestors here.Itgivesuslife, sustains ourlivelihoodsand definesour culture.
aconstitutional amendment to dedicate those revenues to coastal restoration. At the sametime, we reformed our levee boards, unified coastal planning and developed ascience-based master plan that has becomeaglobal model forcoastal protection.


But20years ago, our human failures turned anatural disaster into a catastrophe. Hurricane Katrina did not just expose our vulnerability to wind and water —itlaid bare the consequences of our inaction
As alifelong resident of New Orleans and adedicated public servant, Ialways knew Katrina would come. It was never amatter of if —only when. Like many other leaders, Ipleaded with presidents, senators and anyone who would listen to grasp what was truly at risk: one of the world’smost unique cultures, our nation’senergy supply and the river that opened America’s expansion and prosperity.Looking back, I am proud —not just of how we endured, but of how we responded. Louisiana’scoastalcrisis did not begin withKatrina.The seeds of that disaster weresown decades earlier —quietly, steadily —through decisions that unraveled the natural defenses that once protected us.Levees werebuilt to shield communities and support navigation, but they choked off the river’slife-giving sediment.
Canals carved for oil and gas —vital to our economy —becamesilent conduits for saltwater intrusion, poisoning freshwater marshesand accelerating land loss. Somewherealong theway,weforgot that this great deltawasn’tjust aplace to be tamed, but aliving landscapebuilt by the river itself.
Our future, like our past, depends on letting thatriver do what it was born to do
We werewarned. Asearly as the 1960s coastalscientists told us we were losing our coastatanalarming rate, and only by reconnecting theriver to its wetlands could we hope to reverse that loss. It took time, tragedy and the fierce advocacy of many, but their proven science eventually becameour road map
In thewake of Hurricanes Katrina and Rita, we responded with clarity and purpose. We created the Coastal Protection and Restoration Authority and passed theGulf of Mexico Energy Security Act (GOMESA), securing along-overdue share of the oil and gas revenues produced off our coast
The voters overwhelmingly approved

As acongressional delegation, we spoke with one compelling voice to the rest of the nation: We can be trusted with the federal resources needed to restore and protect our coast. It is an awesome responsibility earned through science-based planning, transparent decision-making and robust public input.
Governor after governor took up the mantle. Dozens of elected officials, business leaders and everyday citizens joined the cause. The resolve born of disaster prepared us forthe challenges to come —more storms, adevastating oil spill, a broken flood insurance system and rising seas.
Speaking with one voice remains essential to demonstrating that Louisiana’s coast is anational asset —central to America’senergy security,economic vitality and environmental resilience. Despite herculean efforts since Hurricanes Katrina and Rita and the oil spill, Louisiana still receives only asmallfraction of the hundreds of billions in offshore oil and gas revenues that pass through our coast. We struggle under an arbitrary funding cap and are required to share this limited revenue with three other energy producing states and the Land and Water Conservation Fund, anational program that already has permanent full funding.
The fight is farfrom over,and Iam proud of our governor and congressional delegation forcontinuing the effort to secure the funding needed to preserve this critical landscape forgenerations to come. We must summon the sameresolve we found after Katrina and Rita. This legacy must not be taken forgranted. In the years ahead, we will need morefederal support, public buy-in and innovation to preserve our state in the face of rising seas and stronger storms. We have spent generations building the momentum and expertise to succeed —if we stay the course. Together,wehave changed Louisiana’sreputation from laggard to leader and charted apath that other coastal states now follow Icall on today’sleaders to show the samecourage and commitment to the inclusive and science-based approach that has served us so well —and may be our only hope.
Mary Landrieurepresented Louisiana in theU.S. Senatefrom 1997 until2015.


Former President JoeBidenrevealed earlierthisweekthat he has been diagnosed with an aggressiveprostate cancer.The news cameasDemocratsweregrappling with newrevelations aboutBiden’smental and physical decline before he dropped out of the 2024 presidential race. Some sayinorder for the DemocraticParty to move forward, it must finally answerwhy so many were unwilling to admitthe presidentwas unfittorun forreelection until very late in the campaign. But does Biden’sdiagnosis complicate that reckoning?Here are twoperspectives
Themassive cover-up of Joe Biden’smentaland physical decline, which is onlynow being revealed by certain media types who were part of it, reminds me ofa similar event more than acentury ago. President Woodrow Wilson suffereda stroke on Oct. 2, 1919, leavinghim barely able to work. First Lady Edith Wilson moved quickly to shield her husband’scondition from thepress andpublic. Historians sayshe took on so many of his responsibilities that she functioned like apresident. Edith Wilson went so far in her scheming that she covered Wilson’s left side with ablanket to hide his paralysis. Even Wilson’sdoctor was part of the cover-up.
ploying euphemismsthat might resonate today with Biden, Edithclaimed she did not make decisions for her husband, but that she was only a“steward.”


As described in Rebecca BoggsRoberts’ book“Untold Power:The Fascinatingand Complex Legacy of Edith Wilson,” members of Congress were frustrated when they were prevented from seeingthe president. ASenate delegationwas assembled and atop White House aidewas informed they were coming to the White House to seeWilsonthat very day.Edithand some of Wilson’sstaff staged a“dress rehearsal” before the meeting that they hoped would allow thepresident to seem articulate and engaged. There was even talk of propping him up in abeach chair,but they settledon elevating himinbed. The publicist forthe Democratic Party was broughtintohelp stage thecharade Fortunately for the conspirators, Wilson was having one of his “good days” when thesenators arrived. He engaged with the visitors, even indulging in humor.When one of them said “Wehavebeen praying for you, Mr.President,” Wilson replied, “Which way?” Edith Wilson in essence, if notinfact, became the first female president of the United States. She controlled access to her incapacitated husband, made decisionson matters of state and essentially ran the executive branchfor almost twoyears. Em-
If this sounds familiar in amodern context, it should. With afew changes, it resembles the script used for the cover-up of Joe Biden’smental and physical decline,the conspiracy by someof histop staff members who helped orchestrate it and the denial by thehelpful media that there was anything seriously wrong with the president.They all promoted the fiction that Biden was “sharp as a tack” and “fully engaged.” Democrats now realize they are caught in atrap of their own making, so their response is to tell reporters they don’twant to talk about the past,but “move on” toward thefuture. Republicans should not allow that to happen. Democrats wouldn’t if theroles were reversed, and indeed, Democrats impeached Donald Trump twice during his previous administration over what amounted to nothing.
TheHouse Oversight and Accountability Committee has announced it will hold hearings on thesuspected cover-up. Co-conspirators must be called to testify about what they knew, when they knew it and why they lied. This should include former First Lady Jill Biden, who could be called the Edith Wilson of our time.
Under oath they will be required to tell thetruth or suffer thepenalties that go with perjury.Why the25th Amendment wasn’t employed to removeBiden from office might be one of the questions asked. The public deserves to hear thetruth and notjust read books from someofthose in themedia who were part of thecover-up andwho are now trying to washthe stain of deceit fromwhat reputations they have left.
Email Cal Thomas at tcaeditors@tribpub. com.
Those who colluded in thecover-up of Joe Biden’s cognitive decline are eagerto put it behind them. The election is over, so why dwell on the past? Why not focus on moreimmediate problems, such as President Donald Trump’scontinuing offenses againstthe civic order?
Youcan’tblame themfor hoping, Isuppose. But we can’tsimply ignore such ashocking institutional failure. Nor can we put off the reckoning in sympathetic deference to the recent announcement thatthe former president has aggressive metastatic prostate cancer
cratic Party,and I’m sorry to say,from my own profession.


Bidenand his family have my best wishes as they embark on achallenging fight.And oh, how Iwish this announcement hadn’tcome just before the release of JakeTapper and Alex Thompson’snew book, “Original Sin,” which offersa devastating account of Biden’s decline and the extent of the White House cover-up.
Having read it recently,I’m convinced thatdeep institutional soul-searching is due in many quarters, and that this conversation is too important to delay,even at the risk of adding to the Biden family’s distress. It is impossible to read “Original Sin” —especially in concert with “Fight,” abook released by Jonathan Allen and Amie Parnes —without reaching ahorrifying conclusion: The most powerful nation in theworld and its nuclear arsenal wereleft in the hands of aman who could not reliably recognize people he’d known for years, maintain his train of thought or speak in coherent sentences.
There’splentyofblame to go around, and no one should offer the excuse that the cover-up was toothorough for anyone to know.The signs were there, from the president’s curiously sparse public appearances to the videos of him acting confused. The gaslighting worked only because they hadcooperationfrom within the Demo-
Though Iaired concerns as early as 2022, Iinclude myself in this condemnation. Inoticed afew odd moments on the campaign trail in 2019 and 2020, along with ageneral air of frailty.Asasecond Biden term began looking more likely,I raised the issue in acolumn, asking whether the feeble man I’d seen on the stump wasreally up to a full campaign. But Ididn’task the question that was already forming in my mind: If Biden couldn’trun afull campaign, should he really be running the UnitedStates of America?
Ican offer no good excuse for this kidglove treatment. Iwas stupidly afraid to say anything that smacked of too much ageism,even though age obviously matters in such apitilessly demanding job. Well, now it’stime for all of us to grapple with those decisions because, as Thompson pointed out in aspeech at the White House Correspondents’ Dinner, owning up to our collective mistakes is the only way to regain the public’strust. Unfortunately, Ifear that as aprofession, we,too, are giving in to the temptation to memory-hole our unpardonable lapse. This omission smacks of my profession circling the wagons, creating yet another impenetrable bubble where we can reassure one another that whathappenedwas fine, aperfectly understandable mistake pretty muchthe excuses we made forJoe Biden himself. All that did was set him up for abigger disaster on the debatestage, and now we’re doing the samething to ourselves. The only way out is to face the truth. The president was not fine, was not even within shouting distance of fine and until we examine our own failure to report that fact, neither are we. MeganMcArdle is on X, @asymmetricinfo.

Continued from page1B
lead funder for the build through the Schumacher FamilyFoundation.
Schumacher said that she washonored to support the Paul A. Doerle Sr Farmers Market Pavilion in memory of her father, who built his food distribution business from humble beginnings.
“My dad would go to New Orleans twice aweek to the farmers market to
Continued from page1B
Parish municipalities, the public school system, hospitals, Acadian Ambulance, 232-HELP,Lafayette RegionalAirport, Catholic Charities, the state Department of Transportation, the Office of Public Health and Louisiana State Police.
The facilitator,Darren Guidry,deputy director of the Governor’sOffice of Homeland Security and Emergency Preparedness, wentaround the roomasking agency representatives what resources they have and what they needtorespond to the emergency, Boudreaux said.
Responses from partici-
Continued from page1B
Cresson, president and CEO of the LCA. “This law ensures that any information used for formal action comes from certified,calibrated equipment and followsstandardized procedures.”
The Louisiana Department of Environmental Quality said it does not comment on pending litigation. Louisiana Attorney General Liz Murrill did not respond to arequest for comment
Ignoring advancements
The community organizations come from across the state but are mostly clustered in the area between New Orleans andBaton Rouge often dubbed “Cancer Alley” due to its highlevels of air pollution and associated healthrisks.The groups are represented by two na-
Continued from page1B
consistent with strangulation and blunt force trauma, policestated. Montague’sarraignment date had not yet been released.
Man sentenced in molestationcase
Aman was sentenced in Vermilion Parish to lifein prisonwithout benefit ofparole for two counts of first degreerape alongside other sex crimes on May 20,according to Don Landry,15th Judicial District Attorney The additional sentences Scott Keith Broussard was
buy produce,” she said. “Asawagon jobber,he would go down the Mississippi River back to New Iberia, selling hisproduce. He did that for years and years, and built very humblebeginnings into multimillion dollar,multistate companies that employed hundreds and hundreds of people. My family and Iare thrilledtohave this pavilion represent atestimony to his life.”
Email Joanna Brown at joanna.brown@ theadvocate.com.
pants help identify potential gaps in the plan now, prior to when the situationiscritical, said Christina Dayries, Mayor-President Monique Boulet’schief of staff.
“This is about bringing everyone to the table,” Guidry said, “so you know what others are doing. When you do it in abox, bad things happen.” Louisiana is considered part of the Atlantic hurricane season that officially runs June 1through Nov.30 of each year
This year theAtlantic hurricane season is predicted to be above average. It includes any areas affected by tropical or subtropical cyclones that form in the North Atlantic Ocean and includes the Gulf of Mexico,Caribbean and alongthe East Coast.
tional organizations: Environmental Integrity Project andPublic CitizenLitigation. According to the advocacy groups, theEPA-approved air monitors permitted under Louisiana law can be thousandsoftimes more expensive than more accessible models that still provide accurate data. Community groups oftenuse amonitor to measure particulate matterthat costs around $300 perunit, while aparticulate matter monitor that qualifies under the law is nearly $59,000.
PeterDeCarlo,aprofessor of environmental health and engineering at Johns Hopkins University, argued that new technologies used by scientists “offer faster, more accurate, and moresensitive measurementsofchemicals in the air we breath.” Sharon Lavigne,who runs theplaintiff organizationRISE St James, has relied on his research in her advocacy work.
given were 25 years at hard laborfor molestation of a juvenile, 25 years for sexual battery, 20 years for intimidating awitness,15years for attempted seconddegree rape,10yearsfor possession of afirearm by aconvicted felon and five years for attempted indecent behavior with ajuvenile. All the sentences aretorun consecutively,Landrysaid. Broussard, whowas convictedinDecemberbya Vermilion Parish jury,had a 2010 convictionfor indecent behaviorwith ajuvenile and was aregistered sex offender Landry praised the victims in this case for havingcouragetoreport theabuse and helpingtoremove asex offender from thecommunity.
Works will help getmore Louisianans back intothe workforce.Theyalsosay it will allow the DCFS to better focus on its primary mission of child welfare.
Twobills pending in the state Legislature pave the way forwhat proponents are calling the “OneDoor” plan.
“Thiswill streamline gettingpeople theservices that they needbut also get them past the point that they need them,” said state Rep. Stephanie Berault, RSlidell, whoauthoredone of the bills.
House Bill 617 by state Rep.Kim Carver, R-Mandeville, takes away DCFS’ authority over SNAP and TANF.Its companion bill, House Bill 624 by Berault, moves theadministration of TANF to Louisiana Works, and it moves the administrationofSNAPto theLouisiana Department of Health.
Both bills passedthe House andits committees withoutopposition. They now require Senate approval.
Though the LDH would handle eligibilitydeterminations for SNAP benefits, officials say thestate’sgoal is to give residentsaccess to food stamps through the LouisianaWorkforce Com-
“Limiting theuse and sharing of data generated by these advanced measurements ignores scientific advancements andlimits the protectionofcommunity health,” DeCarlo said in the news release.
TheInflationReduction Act, former President Joe Biden’sflagship climate legislation, allotted $81 million nationwide for community air monitoring efforts “to ensure the sustainability of national airquality monitoring networks as apublic asset.” Louisiana advocates say the state law counters theIRA’s work.
Micah 6:8 Mission,one of the plaintiffs in the case, has been monitoring pollution in Sulphur near theWestlake chemicalplant afterpurchasing an emissions device throughanEPA grant. The organization found that the area had unhealthy levels of particulate pollutions on most days, but has stopped posting
“Weare verysatisfied with the sentences in thiscase, where this defendant will nowspend the rest of his life in prison for what he did to these children,” Landry said.
LOTTERY WEDNESDAY, MAY21, 2025
PICK 3: 6-1-6
PICK 4: 6-2-9-2
PICK 5: 2-2-0-6-8
EASY 5: 3-14-15-21-23 LOTTO: 4-7-17-27-28-35 POWERBALL: 9-29-31-34-43 (2) Unofficial notification, keep your tickets.

mission, which would be renamedLouisianaWorks if HB624 passes.
“The behind-the-scenes processing, the sending out of the funds to the cards and things like that can be better done at LDH becausethey’re already doing almostthe exact same thing withMedicaid,” said Susana Schowen, secretary of theworkforce commission. But “we’re going to own that people-facing component of it.” Eventually,the statealso aims to enable people to access Medicaid through Louisiana Works, said Berault If HB624 passes, Schowen’sagency would also manageTANFfunds, whichpay for awide variety of programs across various agencies in Louisiana,such as the Family Independence Temporary Assistance Program and the Kinship Care Subsidy Program, two cash assistance programs for kids in need.
Schowensaid some of theTANF-funded programs, such as those that provide child care or transportation assistance, could play akey roleinreducing barriers to entering theworkforce. HB624 will allow the workforce commission to wrap such programs into the workforce system. To facilitate themassive workload shift, DCFS an-
their data on social media.
“Louisiana wants to silence us for doing what the staterefusestodo— tell people what’s in the air they breathe,”said Cynthia Robertson,the executive director of the organization, according to the news release.
Penalties for violating the law can exceed $32,000 per dayand an additional $1 million if the violation is deemed “intentional, willful, or knowing.”
Email Josie Abugovat josie.abugov@theadvocate. com.
ticipates transferring $384 million androughly 1,500 positions to the Louisiana Workforce Commission andLDH, according to the fiscal note for HB624.
Schowen said current employees will not lose their jobs as aresult of the legislation, nor will they have to reapply.She also said HB624 does not change any eligibility requirements for receiving benefits.
TheLouisiana WorkforceCommissionwill cross-train its employees so that they can connect people with avariety of benefits, ratherthansending themtodifferent locations to get them,Schowen said.
The plan mayinvolve consolidating someoffices, especially where there are multiple locations in proximity that offer benefits, she said. But Schowen has promised not to limit access to services,especially in ruralareas
“Because of that expertise acrossprograms in the case management model, we can actually provide services withasmaller number of employees, meaning that we don’t have to close ruraloffices that might notbeable to offer afullspectrum of services now,” Schowen said. “Wecan better staff those areas with just one or two people and keep themopen.”



















BY KOKI RILEY Staff writer
HOOVER,Ala — How would LSU replace Gage Jump and Luke Holman?
Among the plethora of questions facing the Tigers last offseason, that was arguably the greatest one The top starting pitchers were the engine that vaulted LSU from 3-12 in Southeastern Conference play to a club that was a win away from hosting a super regional.
Jump
finished the season with a 3.47 ERA and didn’t allow more than three runs in his last seven starts Holman had a 2.75 ERA and allowed no more than four runs in just one start all year
They were arguably the most feared 1-2 starting pitching combo in the nation
Both starters were selected in the second round of last summer’s MLB Draft.
“(We) played great on the back end of the SEC schedule, they’re off to a great start in the postseason,” Johnson said after LSU’s win over Kentucky in the SEC Tournament last year “And a lot of it has to do with those two guys setting the tone.”
In the end, LSU has had no trouble in finding Jump and Holman’s successors. Sophomore left-hander Kade Anderson and junior right-hander Anthony Eyanson became one of the top pitching duos in the nation during the regular season, guiding the Tigers to No. 1 in the polls nationally and the third best record in the SEC.
They’ll look to lead LSU to an SEC Tournament championship starting on Friday when Anderson and the No. 3 seed Tigers take on No. 14 Texas A&M in the quarterfinals (6:30 p.m., SEC Network).
“Kade and Anthony have pitched deep into


BY KEVIN FOOTE Staff writer
It may not have been the complete game UL coach Matt Deggs was hoping for The guts factor required for Thursday’s 5-4 win over Georgia Southern in the Sun Belt Tournament elimination game at Riverwalk Stadium in Montgomery, Alabama, however was especially satisfying.
“You’ve got to have big (guts) to play Cajuns baseball and play it the right way,” Deggs said.
Lee Amedee’s sacrifice fly to right in the bottom of the eighth inning provided the winning margin.
The Cajuns improved to 27-30 with the win, while Georgia Southern’s season ended at 28-31. UL will now play Thursday’s Coastal Carolina-Marshall loser in the
6:30 p.m elimination game Friday
“You’ve got to have dudes who have enough character, heart and grit to answer the bell,” Deggs said. “I’m very proud of them for doing that. It’s so easy to surrender nowadays and there ain’t no surrender in us — not if you’re a Cajun.”
After a Luke Yuhasz RBI single gave UL a brief 1-0 lead in the first, Deggs wasn’t pleased with his team’s approach for the next four innings.
“We were taking outs on bunts we messed up — two of those — and then we don’t slide (on interference double play) we were really just giving a lot of at-bats away,” Deggs said. “About midway through the game, we decided to change all that.”
BY LUKE JOHNSON Staff writer
Spencer Rattler isn’t dwelling on the past — the present has too much in store
Yes, he started six games at quarterback last year as a rookie for the New Orleans Saints Yes, he was dealt an unfortunate hand in those games as injuries ravaged the offensive roster around him. And yes, the Saints went 0-6 in those games. But things have changed. The Saints have a new head coach and offensive coordinator in Kellen Moore, and Rattler is no longer competing to be the backup quarterback. Thursday, at Organized Team Activities, Rattler took his turn operating the first-team offense with the full complement of players around him.
“It’s in the past. It’s over with now,” Rattler said of his rookie season. “We went through it, we got through it healthy, thank God. We put some good stuff on tape, but some stuff on tape that we need to clean up I think you just put it in the past and move on.
“Whoever you have out there, you want to succeed and you want to win games. Obviously we didn’t do enough of that last year The goal is to win games this year.” Moore cautioned against putting too much emphasis on Rattler getting his turn to operate the first-team offense Thursday It was the third OTA practice of the week, and Moore said Tyler Shough and Jake Haener also took first-team snaps in the days that were not open to media viewing. But Moore also spoke about Rattler as someone who has a legitimate shot at winning a competition to become the team’s starter and part of that is based on what he saw last season. There were rough patches, to be sure. Rattler took 22 sacks and threw five interceptions. He had drastic first- and secondhalf splits, with a 103.3 passer rating in the first half of games he played in and a 46.5 rating in the second half, suggesting he struggled to adjust as the game shifted off script. But there were moments that

The College Football Playoff will go to a more straightforward way of filling the bracket next season, announcing Thursday that it will place teams strictly on where they are ranked instead of moving pieces around to reward conference champions. Ten conference commissioners and
Pulisic among other U.S. starters to miss Gold Cup
NEW YORK Christian Pulisic is among a slew of starters who will be missing when the United States plays in next month’s CONCACAF Gold Cup, another blow for a team coming off dismal performances at the Copa America and CONCACAF Nations League. Pulisic, the top American player, asked to be left off the roster for the last competitive matches before the 2026 World Cup in order to rest after playing about 120 games over two seasons.
Tournament up for grabs without Nadal
BY HOWARD FENDRICH AP Tennis Writer
PARIS For quite some time, there’s usually been a sense of certainty at the French Open
That was particularly so on the men’s side, with Rafael Nadal ruling over the red clay of RolandGarros the way no one has dominated any tournament in tennis history He would go there, he would win nearly every match he played
— how’s 112-4 for a career record?
— and he would head home with another trophy, 14 in all.
Simultaneously simple and spectacular So, too, albeit over a much shorter span, is Iga Swiatek’s recent control over the women’s event, claiming four of five championships, including the past three. And now? As play begins Sunday things are less clear and not just because the 38-year-old Nadal is no longer competing and will be honored that day at Court Philippe-Chatrier The owner of 22 Grand Slam titles retired last season, playing for the final time at the Davis Cup. His final French Open ended with a loss to Alexander Zverev last May and his final Roland-Garros appearance ended with an exit in singles against Novak Djokovic at the Summer Olympics, followed by an exit in doubles alongside Carlos Alcaraz.
New champions at French Open
“Will it be very interesting? I think so,” said Grigor Dimitrov, a quarterfinalist at last year’s French Open and previously a semifinalist at the other majors.
“Could we see potentially some

different winners and different results? Absolutely.”
He was speaking specifically about the men’s bracket. But he could have been talking about the women, too.
“There’s 20 different people that you wouldn’t be surprised if they end up winning the tournament,” said Madison Keys, the American whose first Slam trophy arrived at the Australian Open in January “Part of it is because we’ve kind of lost some of our legends, obviously Like, there’s no longer Serena Williams in every draw, where you just assume she’s going to win.”
Swiatek, 23, did hold that status for a while but she’s been through a trying spell since last year’s triumph in Paris Not only hasn’t she
lifted a trophy since then, but she hasn’t reached a final — and even clay presents problems She was eliminated by Danielle Collins in her second match at the Italian Open, after a 6-1, 6-1 loss to 2023 U.S. Open winner Coco Gauff at the Madrid Open, where she also dropped a 6-0 set to Keys. And that’s to say nothing of the off-court matter of a doping case in which Swiatek essentially was cleared but did serve an oddly timed suspension
Doping cases
Ah, yes, doping. It’s a big topic in tennis lately in large part because of what happened with former No. 1 Swiatek — she’s now down to No. 5, behind Aryna Sabalenka, Gauff, Jessica Pegula and Jasmine Paolini and men’s
No. 1 Jannik Sinner, who served his own, much-scrutinized, threemonth ban.
The deal he worked out with the World Anti-Doping Agency after it appealed the 23-year-old Italian’s original exoneration allowed Sinner to play at the Australian Open, where he earned his third title in the past five majors, then return to competition at the Italian Open, where he was the runner-up to Alcaraz.
So Sinner is in the mix at the French Open, but a notch below defending champion Alcaraz, who dealt with muscle issues in both legs recently before looking in Rome like he is back to his best.
Still, he’s not a lock the way Nadal was, while three-time major finalist Alexander Zverev is as inconsistent as possible lately, and 24time Slam champ Djokovic ended a three-match losing streak this week at the Geneva Open tune-up event
No Nadal in Paris
“Kind of new reality for me, I have to say You know, trying to win a match or two, not really thinking about getting far in the tournament. It’s a completely different feeling from what I had in 20-plus years of professional tennis, so it’s kind of a challenge for me, mentally, to really face these kind of sensations on the court, going out early now, regularly,” Djokovic said after an opening exit in Madrid.
“But that’s, I guess, the circle of life and the career Eventually, it was going to happen. Grand Slams is where I really want to play the best tennis,” he added.
“I’m not sure if I’ll be able to do that in Roland-Garros, but I’ll do my best.”
For a change, no one can be sure what’s to come in Paris.
Haliburton might be seizing reputation as top closer
BY BRIAN MAHONEY AP basketball writer
GREENBURGH, N.Y Jalen Brunson has the award voted to the NBA’s best clutch player and landed the endorsement of Reggie Miller, one of basketball’s famed finishers. He had earned the reputation as the league’s top closer in this postseason.
Tyrese Haliburton might be seizing that the same way the Indiana Pacers seized Game 1 of the Eastern Conference finals away from the New York Knicks. With three memorable shots in nearly impossible-to-imagine comeback victories, Haliburton has become the heir apparent to Miller as the Pacers’ man of the (last) moment and has them three wins from the NBA Finals.
“He’s a special talent, he’s a special person and he continues to amaze me every time,” Pacers teammate Aaron Nesmith said. Game 2 is Friday night, when Brunson and the Knicks will have to show they can come back from the type of devastating defeat that Milwaukee and Cleveland couldn’t in the previous two rounds.
New York led by 14 points with 2:45 remaining in regulation Wednesday. The Pacers rallied to tie it on Haliburton’s long 2-pointer that bounced high off the back off the rim and fell in as time expired, a shot he initially thought was a winning 3-pointer when he ran toward the crowd and emulated the choke signal Miller flashed to Spike Lee three decades earlier during an Indiana playoff victory Teams leading by at least 14 points in the final 2:45 of the fourth quarter had been 994-0 in the postseason since detailed play-by-play began being kept in 1997-98. But
no lead seems safe against these Pacers, no matter what history says.
They trailed Milwaukee 118-111 with 40 seconds left in Game 5 in the first round, only to pull out a 119-118 series-ending victory on Haliburton’s layup with 1.4 seconds remaining. They fell behind Cleveland 119-112 with 48 seconds to play, but stunned the top seeds 120-119 in Game 2 of that series when Haliburton grabbed the rebound of his own missed free throw, dribbled back behind the arc and nailed a 3-pointer Teams trailing by seven or more in the final 50 seconds of the fourth quarter or overtime in the playoffs are 4-1,702 in the playby-play era. Haliburton has led the Pacers to three of those wins in the last month.
“I think for me the biggest thing is I already have the confidence to take the shot in that moment, but I have the confidence from my group,” Haliburton said. “My group wants me to take those shots, my coaching staff wants me to take those shots, I think our organization wants me to take those shots. I think now we’re at the point where our fans want me to take that shot.”
That’s the way the Knicks and their fans feel about Brunson. He led the NBA during the regular season in baskets during clutch situations — defined as when the score differential is within five or fewer points, and the game is in either the final five minutes of the fourth quarter or in overtime and has scored a league-high 96 points in the fourth quarter during the playoffs.
He had just made a basket during the final period with the Knicks trailing Boston in Game 2 of the second round when Miller,

Indiana Pacers guard Tyrese Haliburton is mobbed by teammates as he makes a choking motion after hitting a shot against the New york Knicks at the end of regulation to tie Game 1 of the Eastern Conference finals on Wednesday in New york.
calling the game for TNT, immediately said the Celtics needed to be concerned because it was Brunson’s time of the game as the NBA’s best closer
“I think Reggie was right on that,” Knicks forward Josh Hart said. “I think he’s the most clutch player in the NBA right now and we’re happy he’s on our team.”
Miller always wanted the ball late and his eight points in nine seconds to steal Game 1 of a 1995 series against the Knicks is one of the highlights of the teams’ rivalry Haliburton is on a postseason roll now, but needs a few of them to sit next to his Hall of Fame predecessor in Pacers’ lore.
“I mean, Reggie’s career was legendary Plus, Reggie’s just got a huge personality,” said Stan Van Gundy, Miller’s fellow TNT analyst for the series.
“You love him if he’s on your
side when he was playing and you love to hate him if he’s on the other side, and he embraced the back-and-forth with the crowd and everything else. So I don’t know if Haliburton’s got all that. He tried last night, but he did it on a tie game, so I don’t know if that’s the time to do it. But look, I think Indiana fans think he’s the guy It’s whether the nationwide fans start to look at him that way.” Nesmith was under the basket as Haliburton’s shot went through. The forward had sparked the comeback by going 6 for 6 from 3-point range and scoring 20 of his 30 points in the final 4:46 of regulation. Might he have wanted the final shot that went to Haliburton?
“Little bit. Little bit,” he said “Be lying if I said I wasn’t, but bigtime players make big-time plays and that’s what he continues to do on a daily basis.”
Yunus Musah also asked out, Antonee Robinson was dropped because he has been playing with an injury, and Weston McKennie, Tim Weah and Gio Reyna were blocked because FIFA gave the expanded Club World Cup priority over national teams.
Djokovic beats Arnaldi to advance at Geneva Open
GENEVA Novak Djokovic advanced to the semifinals at the Geneva Open on his 38th birthday Thursday, beating the opponent who eliminated him at the Madrid Masters last month.
Djokovic rallied in the second set for a 6-4, 6-4 win over 39thranked Matteo Arnaldi in their quarterfinals match.
The second-seeded Djokovic had smashed his racket into the ground behind the baseline after his serve was broken to trail 3-1 in the second set, when he sent a backhand long.
He clinched his first match-point chance when Arnaldi hit a wild forehand from behind the baseline. Djokovic’s semifinal opponent Friday will be the winner of the late match between Alexei Popyrin, the fifth-seeded Australian, and another qualifier, Cameron Norrie.
Warriors guard Moody has surgery on thumb
SAN FRANCISCO Golden State Warriors guard Moses Moody underwent surgery on his injured right thumb and is expected to be fully recovered by the start of training camp Moody, 22, started the first two games of the playoffs in the first round before coach Steve Kerr tweaked Golden State’s starting lineup Moody struggled with his shot in the postseason, shooting just 35% from the field before requiring surgery on his thumb.
The Warriors said Moody had the operation on Wednesday in Los Angeles to repair a torn ulnar collateral ligament in his right thumb. Moody is coming off his most productive season since being drafted 14th overall in 2021. He averaged 9.8 points and 2.6 rebounds in 22.3 minutes per game.
Chicago Blackhawks hire Blashill as head coach
CHICAGO The Chicago Blackhawks hired Jeff Blashill on Thursday, giving him a second chance to prove himself as a head coach in the NHL.
Blashill, a 51-year-old Michigan native, coached the Detroit Red Wings for seven seasons. He was let go after the team went 32-40-10 during the 2021-22 season. While Blashill had an underwhelming stay with Detroit finishing with a 204-261-72 record, he has a player development background that likely was appealing for the rebuilding Blackhawks He has coached in the AHL and USHL, along with the college ranks. The previous four coaches for Chicago — Anders Sorensen, Luke Richardson, Derek King and Jeremy Colliton had never been an NHL head coach when they got the job with Chicago.
Red Sox’s Hendriks calls out ‘vile’ social posts
Red Sox pitcher Liam Hendriks took to social media Thursday to express his displeasure about death threats he says he received following Boston’s loss to the New York Mets.
In an Instagram post, Hendriks said comments were directed at both him and his family
“Just as an FYI: Threats against me and my wife’s life are horrible and cruel. You need help,” Hendriks wrote in the post. “Leaving comments and telling me to commit suicide and how you wish I died from cancer is disgusting and vile.” Hendriks, a 36-year-old reliever who previously battled non-Hodgkin lymphoma has appeared in 11 games this season. He’s 0-1 with a 5.56 ERA.
Drew Markle ignited that turnaround with a leadoff single in the sixth and then later scored on an Amedee bases-loaded hit batsman.
Markle was 3-for-4 in the game with three runs scored and two stolen bases.
“Me and coach Deggs have been working a lot just with timing swing-wise and keeping the same approach,” Markle said. “He talked to me this past week in practice about the simple approach and using my leverage and everything that I’m good at to just keep a simple approach.”
Markle had a big seventh innings as well. First, he singled home Brooks Wright with a two-out single to center and then came all the way around to score a go-ahead run on after two Georgia Southern errors.
“Coach Deggs simply told me, ‘Hey, you’re going to steal first pitch,’” Markle explained. “They tried a pickoff a couple of times and he went high leg lift and I was able to get a good jump errant throw so I was able to get to third and coach Deggs just kept wheeling me to be able to go home and get that run in for us.”
Juju Stevens, whose three-run, two-out double off UL starter Chase Morgan gave the Eagles a 3-1 lead in the fifth, then tied the game at 4-all with a solo homer to lead off the eighth.
That didn’t do anything to sway Deggs’ opinion on JR Tollett’s performance
“That’s as good as I’ve ever seen him throw a baseball,” Deggs said of Tollett
“Arguably, he’s been our best pitcher this year, so there was no doubt in my mind he was going to finish it.”
The sophomore right-hander improved to 6-4 on the season after allowing one run on two hits, no walks and two strikeouts in four innings over 48 pitches.
“My approach doesn’t change when I go out there,” Tollett said. “I know my job and my responsibility to fill the zone. Credit C-Mo (Morgan) for doing that for us today. We take great pride on this staff having each others’ back.
“I’ll say that’s one of the most fun games I’ve ever played in. I’ve been out of the bullpen before, but that doesn’t change what happens when you step between the white lines. That was just a brotherhood game.”
Before that outing, Morgan allowed three unearned runs on six hits, one walk and nine strikeouts in five innings over 101 pitches.
“That’s the best I’ve seen Chase in about five weeks or so,” Deggs said. “It’s been a while. He’s been battling some injuries That was his best attack, compete and command of the strike zone I’ve seen out of him in a while.”
Still, UL’s work wasn’t done. In the bottom of the eighth, Caleb Stelly led off with a single to left and scored on Amedee’s sacrifice fly after two wild pitches chased him to third.
“We put together a gritty game today,” Deggs said. “Somebody’s got to win ugly games We talk about that a lot Today was an ugly game that we found a way to win. We just outlasted them and that’s always been our MO, but you’ve got to have tough dudes to do that. You can’t give in.
“It was a gritty game and I like gritty games more than I like pretty games.”

Continued from page 1C
the game just about every week because they’ve been good,” Johnson said. “Great, not good.”
It’s hard to find another pitching duo in the nation that’s been as good as Anderson and Eyanson. Against the toughest conference in college baseball, they’re both in the top-8 in ERA among SEC starters and the only teammates that have cracked the top10.
“I think we’ve learned a lot from each other,” Anderson said. “That’s the thing that’s been our biggest help, continuing to drive each other I think no one’s ever satisfied.”
“Being the leaders on the staff, that’s kind of what you’ve got to do.”
The driving force behind their excellence is how good they’ve been at generating whiffs. They’re No. 1 and No. 3 in the SEC in strikeouts against conference competition, respectively, while being the top two pitchers in strikeouts looking.
For the season overall, Anderson is second and Eyanson is third in the country in strikeouts. They only trail Tennessee lefthander Liam Doyle who has four more punchouts than Anderson.
“I think just really the way (Eyanson) goes about his business has been nice (to watch),” Anderson said. “And I think that through that, it’s been helpful to kind of learn through his failures as well. Because honestly, I think experience (is something) you only learn from failure.”
Continued from page 1C
general. The change was widely expected after last season’s jumbled bracket gave byes to Big 12 champion Arizona State and Mountain West champion Boise State, even though they were ranked 12th and ninth, respectively, by the playoff selection committee.
That system made the rankings and the seedings in the tournament two different things and resulted in some matchups for instance, the quarterfinal between top-ranked Oregon and eventual national champion Ohio State — that came earlier than they otherwise might have.
“After evaluating the first year of the 12team Playoff, the CFP Management Committee felt it was in the best interest of the game to make this adjustment,” said Rich Clark, executive director of the CFP The five highest-ranked conference champions will still be guaranteed spots in the playoff, meaning it’s possible there
Like with Holman and Jump, both Eyanson and Anderson are projected to be selected in the first couple rounds of this summer’s draft. Anderson is the No 7 overall player in ESPN’s rankings and Eyanson is at No. 49.
Tennessee right-hander Marcus Phillips and Doyle, and Arkansas right-hander Gage Wood and left-hander Zach Root were the only other pair of teammates in the rotation to crack the top-50.
“I think the funny thing is, you would never know whether (Eyanson) had a great weekend or not,” Anderson said. “And I think that’s something that you look back with like Holman and Jump. They were kind of guys like that as well.” Anderson and Eyanson both made AllSEC teams. They were getting their weekly massages at Trifecta Sports Therapy when the news broke.
Anderson was a first-team selection but Eyanson only made the second team despite leading the conference in ERA during SEC play The award was “a pretty big deal” to Anderson, but no honor can validate his and Eyanson’s status as arguably the best pitching duo in the nation.
“Where we were short? Elite pitchers,” Johnson said, calling back to where the program was on the mound after his first season in 2022. “And wow, what a run of that with Paul (Skenes), Ty (Floyd), with Luke, with Gage, with Kade, with Anthony Like I’m not a pitching coach, but I’m really proud of getting those caliber of pitchers here.”
Email Koki Riley at Koki.Riley@ theadvocate.com.
could be a repeat of a different sort of shuffling seen last season when CFP No. 16 Clemson was seeded 12th in the bracket after winning the Atlantic Coast Conference. That ended up costing 11th-ranked Alabama a spot in the playoff.
Getting paid
Under the new arrangement, the four top-ranked conference champions will still receive $8 million for their leagues representing the $4 million they earn for making the playoff and $4 million for advancing to the quarterfinals.
“That was the commissioners’ way of — at least for this year holding to the commitment that they have made financially to those teams, those conference champions in particular that would have been paid those amounts under the former system that we used last year,” Clark told ESPN Southeastern Conference commissioner Greg Sankey was among those who pushed for the change in the upcoming second year of the 12-team playoff, though he remained cautious about it being approved because of the unanimous vote needed.






It’sthe last weekend for the LSU Museum of Art’sexhibition, “Golden Legacy: OriginalArt from 80 yearsofGolden Books.”Itfeatures 60 original illustrations that have captivatedgenerations.Catchthe vibrant and nostalgic showfrom 10 a.m. to 5p.m. Friday-Saturdayand 1p.m. to 5p.m Sundayat100 Lafayette St. lsumoa.org
BY LESLIE CARDÉ Contributing
If you long for the days when watching amovie was acommunalexperience —withaudiences laughing, crying and cheering along in theaters —here’ssome good news.
On Wednesday,the New Orleans Museum of Art kicked off aseries that will bring 150 people together to watch fourclassic films over a four-week period. The viewings, however, will come with a twist.


“We’re doing this in conjunction with Café NOMA, where the Brennan’s-owned restaurant at the museum will have special food and drinks to accompany the films,” explained Susan Taylor, the Montine McDaniel Freeman director of NOMA.
“For instance, our secondfilm screening is ‘CinemaParadiso which will be showninNOMA’s Besthoff Sculpture Garden along withAperol spritzers. Mostimportantly,witheach film,there’sa conversation afterward with key peopleinvolved in each production.”
First film wassell-out
The first film in the Producer’s Choice Film Series —which sold out —was “The Talented Mr.Ripley,” and the conversation wasbetweenactorJude Law (one of the stars of thefilm) and the co-president of productionfor theformer Miramax Films,producer Meryl Poster, who is curatingthis series for the museum. In her 16-year role at MiramaxFilms, Posteroversaw more than 60 films. She was executive producer of the Academy Award-winning “Chicago” and the Academy Award-nominated “The Cider House Rules” as well as “Chocolat.” Her intimate knowledge of some of the world’smost critically acclaimed films is the reason that NOMA’s Taylor reached out to Poster to curate this series.She askedthat theyinitially be films Poster had workedon.
“I wanted to include films which peoplehave apassion for,” recounted Poster,now president and founder of Superb Entertainment. “Allthe filmshave apainterly quality,and by that, Imean their lighting and composition mean you could take scenes from these movies and turn them into paintings. They are visually stunning.”
Styleand substance
These four films are atribute to films that have both style and
ä See FILM, page 6C







BY JUDYBERGERON| Staff writer
The Cajun Country Jam Memorial Day Festival signed on alast-minute addition to its music lineuponTuesday —a young, up-and-coming artist many have heardalot about lately Does thename John Foster ringabell? Foster,18, of Addis, just finished secondin “American Idol’s”23rd season.
CAJUN COUNTRYJAM
Friday-Sunday l PARDS North Park, 30372 EdenChurch Road, Denham Springs l $75, threedaygeneral admission; $125, three-daypit pass; $300, threedayall-star experience and VIP parking pass; parking pass, $30. Half-price ticketsalso areavailable by using the coupon code “THEADVOCATE” at checkout l thecajuncountryjam.com
As afinalist on theABC singing competition series, the LSUstudent was treated to ahero’swelcome home last week in Louisianabefore returning to Hollywood for Sunday night’s “Idol” finale.
Cajun Country Jam event producer Scott Innes said Tuesday night thathehad texted Foster earlier in the day asking himtoattend this weekend’sthree-day festival. During alengthy follow-upphone call, Foster accepted the invitation, Innes said.
ä See COUNTRYJAM, page 6C
Curly Leveron separates portions of chicken from therice while cooking during the 2024 Jambalaya Festival in Gonzales.

BY DARLENE DENSTORFF Community news editor
Changesare coming to this year’sJambalaya Festival, running through Sunday. Anew location, admission, added cooking contest, expandedfood offerings andconvenient parking will make this year’s Jambalaya Festival different from past fests, but orga-
FRIDAY
JC MELANCON: Toby’s Lounge, Opelousas, 11 a.m.
LIVE MUSIC: Cane River Pecan Company Pie Bar, New Iberia, 5 p.m.
GRAY WALKER BAND
DUO: Adopted Dog Brewing, Lafayette, 6 p.m.
AUDREY BROUSSARD: Charley G’s, Lafayette, 6 p.m.
KIP SONNIER: Prejean’s, Broussard, 6 p.m.
FRIDAY NIGHT JAM: La Maison de Begnaud, Scott, 6 p.m.
BLAKE LUQUETTE:
SHUCKS!, Abbeville, 6:30 p.m.
DYNAMIC DUO: Agave Downtown, Lafayette, 6:30 p.m.
MIKE HENRY: Agave, Youngsville, 6:30 p.m.
JAMBALAYA TRIO: Randol’s, Breaux Bridge, 6:30 p.m.
LIVE MUSIC: Buck & Johnny’s, Breaux Bridge
6:30 p.m.
SHARONA THOMAS: The Alley Downtown, Lafayette, 7 p.m.
ALL STAR DANCE FACTO-
RY: Heymann Performing Arts Center, Lafayette,

PROVIDED PHOTO Andre Courville, above, with the Atchafalaya Orchestra will perform at 7 p.m. Friday at NUNU Arts & Culture Collective in Arnaudville. Forest Huval is also on the bill.
7 p.m
COUILLON FEST: Cité des Arts, Lafayette, 7 p.m. and 9 p.m.
ANDRE COURVILLE WITH THE ATCHAFALAYA ORCHESTRA & FOREST HUVAL: NUNU Arts & Culture Collective, Arnaudville, 7 p.m.
TROUBLE DOWN TECHE: Hideaway on Lee, Lafay-
By The Associated Press
Today is Friday, May 23, the 143rd day of 2025. There are 222 days left in the year Today in history:
On May 23, 1934, bank robbers Bonnie Parker and Clyde Barrow were shot to death during a police ambush in Bienville Parish.
On this date: In 1915, Italy declared war on Austria-Hungary, aligning with the Triple Entente of Russia, France and the United Kingdom
In 1984, Surgeon General C. Everett Koop issued a report saying there was “very solid” evidence linking cigarette smoke to lung disease in nonsmokers.
In 2013, the Boy Scouts of America announced it would remove membership restrictions based on sexual orientation, while maintaining a ban on openly gay Scout leaders. (The ban on gay Scout leaders and organization employees was lifted
ette, 8 p.m.
LETRAINIUMP, SUNK-
ISSED & TOBIAS LUND: Blue Moon Saloon, Lafayette, 8 p.m.
MATT GARY TRIO: Whiskey & Vine, Lafayette, 8 p.m.
THE ROUGE KREWE: Rock
’n’ Bowl, Lafayette, 9 p.m.
LIL NATE: Cowboys Nightclub, Scott, 10 p.m.
SATURDAY
TROY LEJEUNE BAND: Fred’s, Mamou, 8 a.m.
LEROY THOMAS & ZYDECO ROADRUNNERS:
Buck & Johnny’s, Breaux Bridge, 8 a.m.
CAJUN JAM: Moncus Park, Lafayette, 9 a.m.
SATURDAY MORNING
JAM SESSIONS: The Savoy Music Center, Eunice, 9 a.m
CAJUN JAM: Tante Marie, Breaux Bridge, 11 a.m.
DYLAN AUCOIN AND THE JUDICE RAMBLERS: Toby’s Lounge, Opelousas, 11 a.m.
CAJUN FRENCH MUSIC
JAM: Vermilionville, Lafayette, 1 p.m.
JACK WOODSON: Charley
G’s, Lafayette, 6 p.m.
CASEY COURVILLE:
Adopted Dog Brewing, Lafayette, 6 p.m.
POT LUCK TRIO: NUNU
Arts & Culture Collective, Arnaudville, 6 p.m.
THE GLAD RAGS: Prejean’s, Broussard, 6 p.m.
LIVE MUSIC: Jim Deggy’s, Lafayette, 6 p.m.
ZACH EDWARDS: Tap Room, Youngsville, 6:30 p.m.
GRITZ N’ GRAVY: Agave Downtown, Lafayette, 6:30 p.m.
KIP SONNIER: SHUCKS!, Abbeville, 6:30 p.m.
LIVE MUSIC: Buck & Johnny’s, Breaux Bridge, 6:30 p.m.
MARCO SAVVY: The Alley Downtown, Lafayette, 7 p.m.
COUILLON FEST: Cité des Arts, Lafayette, 7 p.m. and 9 p.m.
WAYNE TOUPS/JAMIE
BEARB & CAJUN FRIENDS: La Poussiere, Breaux Bridge, 8 p.m.
GENO DELAFOSE & FRENCH ROCKIN’ BOOGIE: Lakeview Park, Eunice, 8 p.m.
HORACE TRAHAN: Hideaway on Lee, Lafayette, 8 p.m.
Continued from page 5C
two years later.) In 2015, supporters of marriage equality in Ireland celebrated as referendum results showed a constitutional amendment in favor of recognizing same-sex marriage passing by a nearly 2-to-1 margin.
In 2018, NFL owners approved a new policy allowing players to protest during the national anthem by staying in the locker room but forbidding players from sitting or taking a knee if they’re on the field Today’s birthdays: Actor Joan Collins is 92. Tennis Hall of Famer John Newcombe is 81 Chess grand master Anatoly Karpov is 74 Comedian-TV host Drew Carey is 67. Comedian-actor Lea DeLaria is 67. Author Mitch Albom is 67. Actor Melissa McBride is 60. Singer-songwriter Maxwell is 52. “Jeopardy!” host Ken Jennings is 51. Singer-songwriter Jewel is 51. Filmmaker Ryan Coogler is 39. Singer-songwriter Sarah Jarosz is 34.

Continued from page 5C
substance. They also have a psychological component to them.
Whether it’s “The Talented Mr. Ripley” which involves identity theft and murder and probes the bounds of sociopathy, or “The Wings of the Dove” which explores the corruption of love by greed, these are films that make you think.
Although “Cinema Paradiso” is a poignant tribute to childhood, it is also the story of lost love and the transformative power behind the magic of cinema.
As for the whimsical “Chocolat,” at its heart, the film’s premise is about the courage to embrace change.
Making sense of a film
“When you leave a movie theater with friends, you have this debrief moment of making sense of what you saw,” said Charlie Tatum, NOMA’s director of marketing and communications.
“So, we’ve paired these films with a more formalized, deeper conversation,” he said. “It’s about connecting with fellow filmgoers, and even getting some of your questions about a film answered by the principals involved with them.”
Producer Poster tells inside stories about the behind-the-scenes adventures involved in making
movies.
“Johnny Depp arrived on the set of ‘Chocolat’ with a kind of crazy hairstyle that first day of shooting,” said Poster. “I hated the way it looked, all wild We had a short amount of time, just hours, to convince him to go with a slicked back ponytail.
“And then there was the story of Anthony Minghella (director and screenwriter of “The Talented Mr. Ripley”) when he cast Law as one of the leads.
“I asked him how he knew if Jude could sing, and his answer to me was that if Jude was a good enough actor he could act singing.”
What’s next?
For this spring series, apart from “Cinema Paradiso” in the sculpture garden, the remaining films will be screened in NOMA’s Lapis Center for the Arts.
“But we will soon be thinking about our next series of films in the fall,” said Taylor “We’ll be contemplating a theme, and how we can leverage this next installment.
“Meryl will again curate it, but we will expand past the films she’s produced. We want to create a conversation around these features.
“So, joining the conversation could be a film historian, an actor a critic, an academic, or a director Anything that gets people talking.”
For a complete schedule of the series, and to buy tickets, go to noma.org.
ANDREW WAIN TRIO: Whiskey & Vine, Lafayette, 8 p.m.
THE ’90S SHOW: Rock ‘n’ Bowl, Lafayette, 9 p.m.
MAY-HEM — PANSY: The Loose Caboose, Lafayette, 9 p.m.
JAMIE BERGERON: Cowboys Nightclub, Scott, 10 p.m.
SUNDAY
LIVE MUSIC: Tante Marie, Breaux Bridge, 11 a.m.
LIVE MUSIC: Whiskey & Vine, Lafayette, 11 a.m.
CAJUN JAM: Bayou Teche Brewing, Arnaudville, 2 p.m.
LE BAL DU DIMANCHE: Vermilionville, Lafayette, 1 p.m.
DEANO, CHAS, JIM: The Whirlybird Compound, Opelousas, 3 p.m.
HORACE TRAHAN AND THE OSSUN EXPRESS: Cypress Cove Landing, Breaux Bridge, 3 p.m.
LIVE MUSIC: Pat’s Atchafalaya Club, Henderson, 4:30 p.m.
GENO DELAFOSE: Rock ‘n’ Bowl, Lafayette, 5 p.m.
PAUL TASSIN ALBUM RELEASE: Feed N Seed, Lafayette, 6 p.m.
“He’ll hang out all weekend, and get up on stage with several of the artists,” Innes said with times to be determined post-presstime.
“It’s like a backyard party, just a little bit exaggerated,” Innes said Monday about the event, celebrating its 10th year
The guest list for the big bash also features: Dylan Scott, Craig Morgan, Frank Foster, Chris Cagle, Kendall Schaffer, Wayne Toups, Chase Tyler, Ben Ragsdale, Thomas Cain, Nashville South, Sam L. Smith, Parish County Line, Connor Martin and Lauren Lee.
“Craig Morgan, who’s one hit after another, and then what, eight consecutive No. 1’s for Dylan Scott, who’s a Louisiana native,” Innes said.
“Then there’s Chase Tyler Chase is, you know, Louisiana Music Hall of Fame. He knows his stuff. He sings pop, rock. I bet the guy could do polka. People would love it, you know?”
Tyler plays host for the FridaySunday event at PARDS North Park in Denham Springs again this year
DJ will be Dylan Wayne.
“So we’re excited about it, man,” Innes added. “You know, the one thing we really take pride in is we give a stage to the local artists. Their fans come out in droves and it’s a party,” he said.
It’s going to be a hot one, with highs of 90 and sun forecast all weekend. Innes advises festivalgoers to bring small umbrellas. Chairs and blankets also are an option. Those unsure of what is or isn’t allowed in the park can go to thecajuncountryjam.com for a complete list.
Ticket prices are as follows: $75, three-day general admission; $125,
Continued from page 5C
from its longtime location along Irma Boulevard, and admission will be charged for the first time in the festival’s history
“It’s something we’ve been talking about for a long time, and lots of things went into the decision,” Gonzales said. “This year we’re doing it. There will be lots of parking and air-conditioned music venues.”
Gonzales said availability to the space used for carnival rides and the possibility of losing eight cooking stations due to construction in the cooking area forced them to start looking for another location.
“You won’t have to park at Rouses and walk on Cornerview to get to the festival,” Gonzales added. “You won’t have to search for parking.”
Admission is $5 on Friday and Sunday and $10 on Saturday. A three-day pass is $15. Children under 12 are admitted free.
The jambalaya cooking contests start at 8 a.m. Friday and the minipot Champ of Champs contest is at 6 p.m. Saturday, a new contest for ages 12 to 17 starts at 1 p.m.
The final heats of the first round of cooking start at 8 a.m. Saturday and the Champ of Champs cooking contest kicks off at 2 p.m.
The mini-pot contest is from 7 a.m. to 11 a.m. Gonzales said he’s excited to see what the young cooks produce.
JAKE SPINELLA: Charley G’s, Lafayette, 6 p.m.
CAMERON FONTENOT & THE RHYTHM ACES: Hideaway on Lee, Lafayette, 7 p.m THE WHOLESOME BOYS WITH THE DEBTORS, AND NIKKI NEEDHAM: Blue Moon Saloon, Lafayette, 8 p.m
MONDAY PATRICIO LATINO SOLO: Cafe Habana City, Lafayette, 11 a.m.
TUESDAY PAUL TASSIN: Charley G’s Seafood Grill, Lafayette, 6 p.m.
TERRY HUVAL & FRIENDS: Prejean’s Restaurant, Lafayette, 6 p.m.
GROOVE ROOM: Blue Moon Saloon, Lafayette, 8 p.m.
WEDNESDAY
DULCIMER JAM: St. Landry Visitors Center, Opelousas, 10 a.m.
COURTYARD SESSIONS — CEDRIC WATSON: Hideaway Hall, Lafayette, 5 p.m.
MYLES MIGL: Park Bistro, Lafayette, 6 p.m.
SAM SPHAR: Charley G’s Seafood Grill, Lafayette, 6 p.m
ANDREW WAIN TRIO: Whiskey & Vine, Lafayette, 6 p.m.
DYLON ERVIN: Tap Room, Youngsville, 6:30 p.m.
CAJUN JAM: Blue Moon Saloon, Lafayette, 8 p.m.
THURSDAY AUDREY BROUSSARD: Charley G’s Seafood Grill, Lafayette, 6 p.m.
JILL BUTLER: Whiskey & Vine, Lafayette, 6 p.m.
RORY SUIRE: SHUCKS!, Abbeville, 6:30 p.m.
CHAS JUSTUS & MACQUE
CHOUX: Hideaway on Lee, Lafayette, 7 p.m.
HORACE TRAHAN: Rock ‘n’ Bowl, Lafayette, 7:30 p.m.
Compiled by Marchaund Jones.
Want your venue’s music listed?
Email info/photos to showstowatch@ theadvocate.com. The deadline is noon FRIDAY for the following Friday’s paper.

three-day pit pass; $300, three-day all-star experience and VIP parking pass. Half-price tickets also are available by using the coupon code “THEADVOCATE” at checkout. Innes reminded everyone that each driver also must have a parking pass ($30, general admission; $60, VIP). Look for lots of typical festival
They’ll cook five pounds of rice using a propane burner instead of the larger pot-dishes prepared over wood fire by older cooks.
For the main cooking contest, cooks prepare 25 pounds of chicken and 10 pounds of rice for the preliminary round; 37.5 pounds of chicken and 15 pounds of rice in the semifinals; and 50 pounds of chicken and 20 pounds of rice in the finals. And all is cooked over a wooden fire.
The new cooking stalls will be under Barn 6. Gonzales said the larger covered cooking area will mean cooks won’t get wet if a thunderstorm rolls through, a common occurrence during hot May days. That’s something reigning champ Tyler Billingsly is looking forward to.
“It will be more comfortable for the cooks, with more space for us to go in and out,” Billingsly said. “Definitely more convenient.”
Billingsly, who owns Tee Wayne’s Cajun Cooking, learned how to cook jambalaya from mentor the late Tee Wayne Abshire, a former cooking champ. His love of cooking was born as a youth when he’d cook the squirrels and rabbits he hunted with his cousin.
“The rule was we had to eat what we killed, so my dad would help us cook what we shot,” he said.
All cooks are given the same ingredients yellow onions, garlic, green onions, red pepper Red Hot Sauce, bell peppers, celery salt, black pepper and cooking oil.
It’s all about technique and the taste and texture of the rice. That’s
food, as well as Louisiana Creole fare.
“It’s just really great when you look out in the crowd and you see everybody just partying and their hands up and they’re dancing,” Innes said.
“It’s just a good feeling.”
Email Judy Bergeron at jbergeron@theadvocate.com.
how it’s been since the beginning when a non-Gonzales native wanted to find a way to promote the city A committee was formed to get the festival up and running. They got the governor to proclaim Gonzales the “Jambalaya Capital of the World.”
That first festival had 13 cooks and this year’s festival has more than 90 cooks signed up, the largest number since the festival returned after a two-year break during the COVID pandemic.
Another addition this year is multiple food vendors selling Louisiana favorites. In the past, festivalgoers could choose from jambalaya and carnival treats, Gonzales said. In addition to jambalaya, the festival is known for its band lineup, and Gonzales promises this year’s music includes some of the best around, including Saturday night’s performance by Easton Corbin. Musicians will perform on two air-conditioned stages — with the Swamp Pop stage inside the Trade Mart building and other musical genres inside the Rev center
The festival also features carnival rides, an expanded vendor area, car show pageant, and 5K and 1-mile run. The World Champion Jambalaya title announcement is expected after 6:30 p.m. Sunday
Organizers are encouraging festivalgoers to enter the festival through Edenborne Parkway For a complete schedule of events, visit www.jambalayafestival.net/copy-of-full-event-schedule.










GEMINI(May 21-June 20) Reconnect with peoplefrom your past.Reviving memories will also bring back olddreamsthat may not feel unattainable anymore.
CANCER (June 21-July 22) Refrain from sharingyoursecrets.Avoiddiscussing the changes youwant to make until you have everythinginplace. Refuse to let emotionally manipulative peoplestand between youand your goals.
LEO (July23-Aug. 22) Gather information andformulate aplantohelpyou advance. Refuse to letthe choices others make influence you. Put your energy intoachievingsomethingthatpushesyou closer to your goal
VIRGO(Aug. 23-Sept. 22) Ask questions, attendtalks andstay informed. Knowledgeisthefastestwaytogetahead.Stayingontop of trends will helpyou make better choices. Don't be afraidtochange your mind
LIBRA (Sept. 23-Oct. 23) Putyourenergy to gooduseandtidyupunfinishedbusiness. Fixingupyoursurroundingsandpreparingfor something youwant to pursue or an eventyou wish to host will liftyour spirits. Partnerships with unique individualswill offer mentalstimulation.
SCORPIO(Oct. 24-Nov.22) Take care of your responsibilities before you move into party mode. Mixing business with pleasure will encourage betterwork relationshipsand help you push your agendaforward
SAGITTARIUS (Nov. 23-Dec. 21) Putsome thought into creative endeavors and maintaining ahealthy lifestyle. Share
your feelings about shared expenses and responsibilitieswiththerelevantparties. Romance is favored.
CAPRICORN (Dec. 22-Jan. 19) It's best to observe, listenand analyze situations from adistance. Gather information, consider the possibilitiesand initiate changes that suityour needs. Refuseto get trapped in someone else'sdream
AQUARIUS (Jan. 20-Feb. 19) Refuse to let thedecisions others make influence you. Concentrateonyour earning ability and self-improvement. Keep an open mind, network and trysomething new.
PISCES (Feb. 20-March 20) Lift barriers and speak your mind. You cannot make headway if you aren't upfront about your intentions.Talktothepeoplemostaffected by your choices, and you'll receive the input you require.
ARIES (March21-April 19) Putmore time and effort into presenting yourselfto others. An honest portrayal of yourself and what you offer will helpcut to the chase, making lifechoices easier and moresuccessful.Love who you are.
TAURUS (April 20-May 20) Set goalsand take steps to encourage your peace of mind. When uncertaintyprevails,say no. You need to ease stress and lower debt. Decide what gives you purpose and meaning, and plan your routineand upcoming scheduleaccordingly.
Thehoroscope, an entertainment feature, is not based on scientificfact. ©2025 by NEA, Inc dist. By
Andrews McMeel Syndication






InstructIons: Sudoku is anumber-placing puzzle based on a9x9 grid with several given numbers. The object is to place thenumbers 1to9inthe empty squares so that each row, each column and each 3x3 box contains thesame number only once. The difficulty level of theSudoku increases from Monday to Sunday.








BY PHILLIPALDER Bridge
Carey Mulligan, an English actress who madeher Broadway debut in “The Seagull” in 2008, maintained, “I never said Iwanted to be alead actress; Inever said Iwanted to be afilm actress. This need to trump everyone bewilders me. I’m only 25. I’m notbetter than anyone. I justwanttowatchotherpeopleandlearn to be good.”
That is agreat attitude for up-andcomers in anything, including bridge But at timesthere is aneed to trump everyone withatrump card.Inthis deal, South is in four spades.Westleadsthe diamondking. Howshould East plan the defense?
If you have adopted two-over-one game-force, North would rebid two spades. Then South, with that unappealing singleton club,would probably jump to four spades. But if he settles for three spades, North should be happy withfour spades. Despite his good-lookingheart honors, histrumps are poor and he has only oneace.
Yes, this deal is acomplementofyesterday’s. First, East signals enthusiastically withhis diamond nine. West continues with hisqueen,then leads his third diamond. After winning with hisace, what should East do next?
As Ihave been stressing all week, East should check the points. West hasproduced five,the dummy has 14, and East holds six. That leaves 15 points unaccounted for.
If Westhad the heart ace, he should have cashed it before playing the third diamond. So the defenders cannot have another side-suit trick. East should lead hislast diamond. Here,thatpromotes a trick for West’s spade jack.
©2025 by NEA, Inc., dist.
By Andrews McMeel Syndication
Each Wuzzleisawordriddle which creates adisguised word, phrase, name, place, saying, etc. For example: NOON GOOD =GOOD AFTERNOON
Previous answers:
word game
InstRuctIons: 1. Words must be of four or more letters. 2. Words that acquire
toDAY’sWoRD
Averagemark
Time
Can














































