













DECLARATION FOR BRAMBLETON

THISDECLARATIONismadeasof Ai( ll'f,20cJ/,byBRAMBLETONGROUP, L.L.C.,aMichiganlimitedliabilitycompany(" eclarant");andBRAMBLETON COMMUNITYASSOCIATION,aVirginianonstockcorporation("Association").
RECIIALS.:
R-1. TheDeclarantownstheland(whichshallbedevelopedassinglefamilydetached, singlefamilyattached,multi-familyandnon-residentialunitsinaccordancewithZMAP19930005,ZCPA1993-0007andSPEX1993-0017,BrambletonProperty)designatedasSubmitted LandinthelegaldescriptionattachedapExhibitA(andmadeaparthereofbythisreference)and theDeclarantdesirestosubjectsuchlandtocovenants,restrictions,reservations,easements, servitudes,liensandcharges,allofwhicharemoreparticularlyhereinaftersetforthinthis Declaration;provided,however,thattheDeclarantalsoretainstherighttosubjectportionsof suchlandtoseparatedeclarationsasdefinedinSubsection 1.1(22).

R-2. TheDeclarantalsowishestoreservetherighttoaddthelanddesignatedas AdditionalLandinthelegaldescriptionattachedasExhibitB(andmadeaparthereofbythis reference),asmaybeamendedbytheDeclarantfromtimetotime,andmayhereafterdecideto subjectalloranyportionofthatAdditionalLandtotheprovisionsofthisDeclaration,as amendedfromtimetotime.






R-3. TheDeclarantdeemsitdesirableandinthebestinterestsofalltheownersofland subjecttothisDeclarationtoprotectthevalueandthedesirabilityofsuchlandbyprovidingfor thedevelopmentofsuchlandinaccordancewithacommonplanandthemaintenanceofcertain sharedfacilities.
R-4.Toprovideameansformeetingthepurposesandintentssetforthherein,the DeclaranthascausedBRAMBLETONCOMMUNITYASSOCIATIONtobeincorporated underthelawsoftheCommonwealthofVirginia.




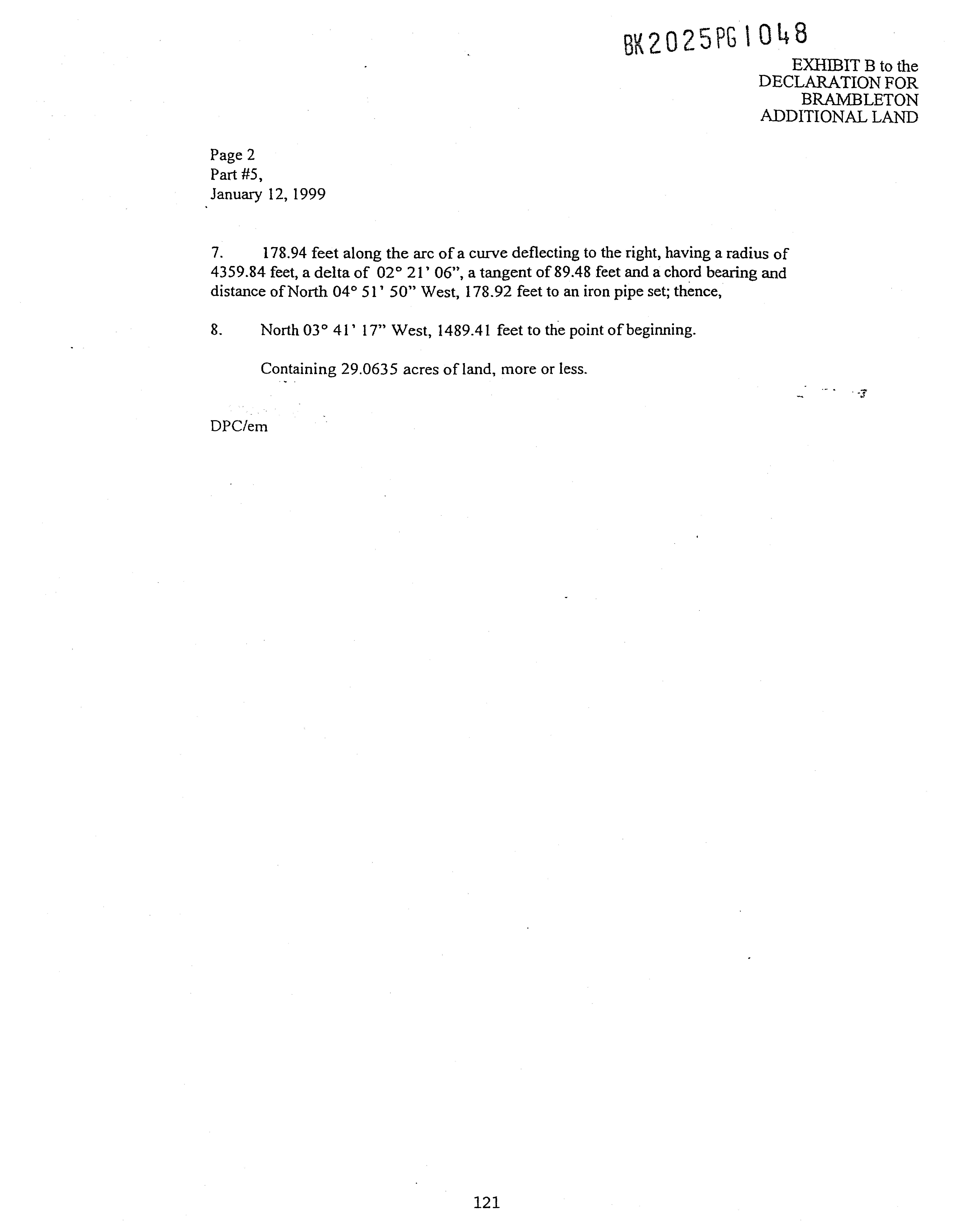
NOW,THEREFORE,theDeclarantandtheAssociationherebycovenantanddecl':',re,on behalfofthemselvesandtheirrespectivesuccessorsandassigns,thatfromthedatethis Declarationisrecorded,thelanddesignatedasSubmittedLandinExhibitAshallbeheld,conveyed,acquiredandencumberedsubjecttothetermsandprovisionshereof,allofwhichshall runwiththelandandbindandinuretothebenefitofallPersonswhomaynoworhereafterown oracquireanyright,title,estateorinterestinortoanyofsuchland,orwhomaynoworhereafter occupyorenteruponanyportionthereof,subjecttotherightoftheDeclarantortheAssociation toamendthisDeclarationinaccordancewiththeprovisionsforamendmentsetforthherein. The




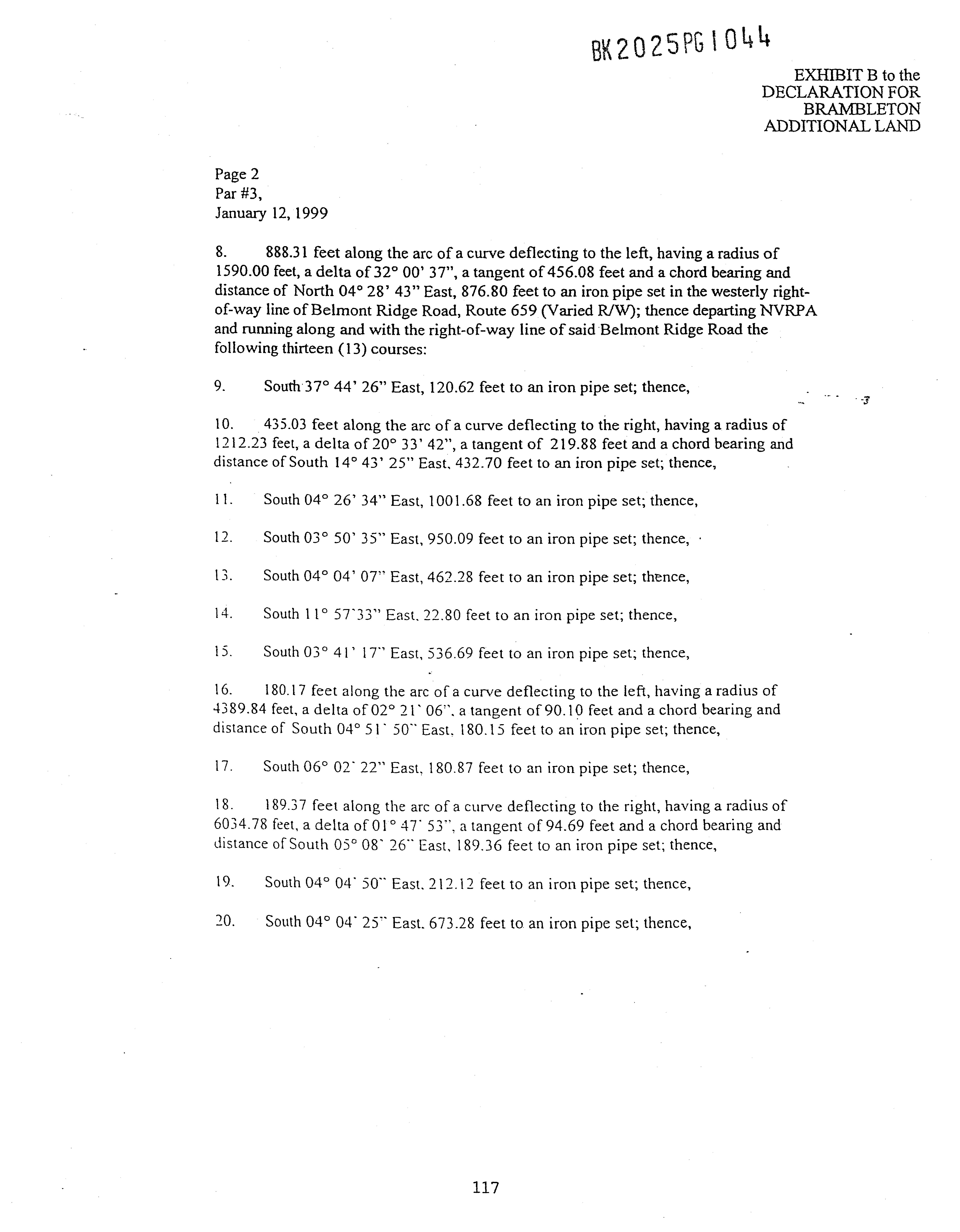
AssociationjoinsinthisDeclarationforthepurposeofacceptingtherights,powers, responsibilitiesandobligationssetforthherein.


£.ARI ONE
ARTICLE1





GENERALPROVISIONS


Section1.1. Definitions. Termsusedhereinwithoutdefinitionshallhavethe meaningsspecifiedforsuchtermsinSection13.1-803oftheAct. Capitalizedtermsused-herein -Y shallhavethemeaningsspecifiedforsuchtermsbelow.


(1) "AccessoryUnit"meansaseparatedwellingareacontainedwithin asinglefamilydwelling,asdefinedintheLoudounCounty,VirginiaCode. AnAccessoryUnit doesnotcountasaseparatedwellinginthecalculationofvotingrightsorAssessments.



(2) "Act"meanstheVirginiaNonstockCorporationAct,Chapter10of Title13.loftheCodeofVirginia(1950),asthesamemaybeamended,supplementedor replacedfromtimetotime.







(3) "AdditionalLand"meansthelandsodesignatedinExhibitB,as amendedfromtimetotime,whichtheDeclaranthasreservedtherighttosubmittothe DeclarationandtothejurisdictionoftheAssociationpursuanttoSection4.1."Adjacent Properties,"ifany,meansadjacentlandthatmaybeownedbyothersthattheDeclarantwishesto reservetherighttosubmittotheDeclaration.








(4) "ApprovalofSecondaryMortgageAgenciesorMortgagees" means:(i)writtenapproval;(ii)anywrittenwaiverofapprovalrights;(iii)aletterstatingno objection;or(iv)presumptiveapprovalifaSecondaryMortgageAgencyorMortgageedoesnot respondtoanoticesentbycertifiedorregisteredUnitedStatesmail,returnreceiptrequested(or anyotherreasonablyverifiablemethodoftransmission),withinthirtydaysafterthedatethe requestforapprovalistransmittedinaccordancewiththenoticerequirementsofArticles1and 10oftheBylawsandSections13.2and15.4.TotheextentapprovalofaSecondaryMortgage AgencyisrequiredbytheDeclarationandtheagencynolongerreviewsorapprovesAssociation Documents,thenapprovalfromsuchagencyshallnotberequired.


(5) "ArticlesofIncorporation"meanstheArticlesoflncorporationfor BRAMBLETONCOMMUNITYASSOCIATIONfiledwiththeVirginiaStateCorporation Commission,asamendedfromtimetotime.




(6) "AssessableFloorArea"means:(i)one-halfthegrossfloorarea shownonthesiteplanapprovedbytheappropriategovernmentalbody,oranyamendmentsof suchplancalculatedunderthezoningordinancesapplicabletotheProperty(untilaplanis

approved, gross floor area shall mean the maximum gross floor area permitted under applicable zoning ordinances); or (ii) after initial occupancy of the Lot, the actual gross floor area with respect to a Lot that contains a building for which a certificate of occupancy or similar permit has been issued. Gross floor area shall be determined by reference to the plans prepared for submission to the appropriate governmental agency in order to obtain a certificate of occupancy and shall be provided to the Board of Directors by the architect employed by the Owner of the Lot. If additional improvements are constructed on such Lot after initial occupancy, then the architect shall provide a revised gross floor area calculation to the Board of Directors and the Owner of such Lot shall have additional voting rights and asse~sment obligations in accordance with the revised calculation. Notwithstanding the foregoing, the Declarant may provide in the Supplementary Declaration applicable to any Lot containing all or any portion of a golf course for the definition of Assessable Floor Area to be calculated on a different basis for a "Golf Course Lot" for the purposes of deterniliring voting rights and Assessments.
(7) "Assessment Unit" means the unit of measurement used to determine the payment of Assessments.
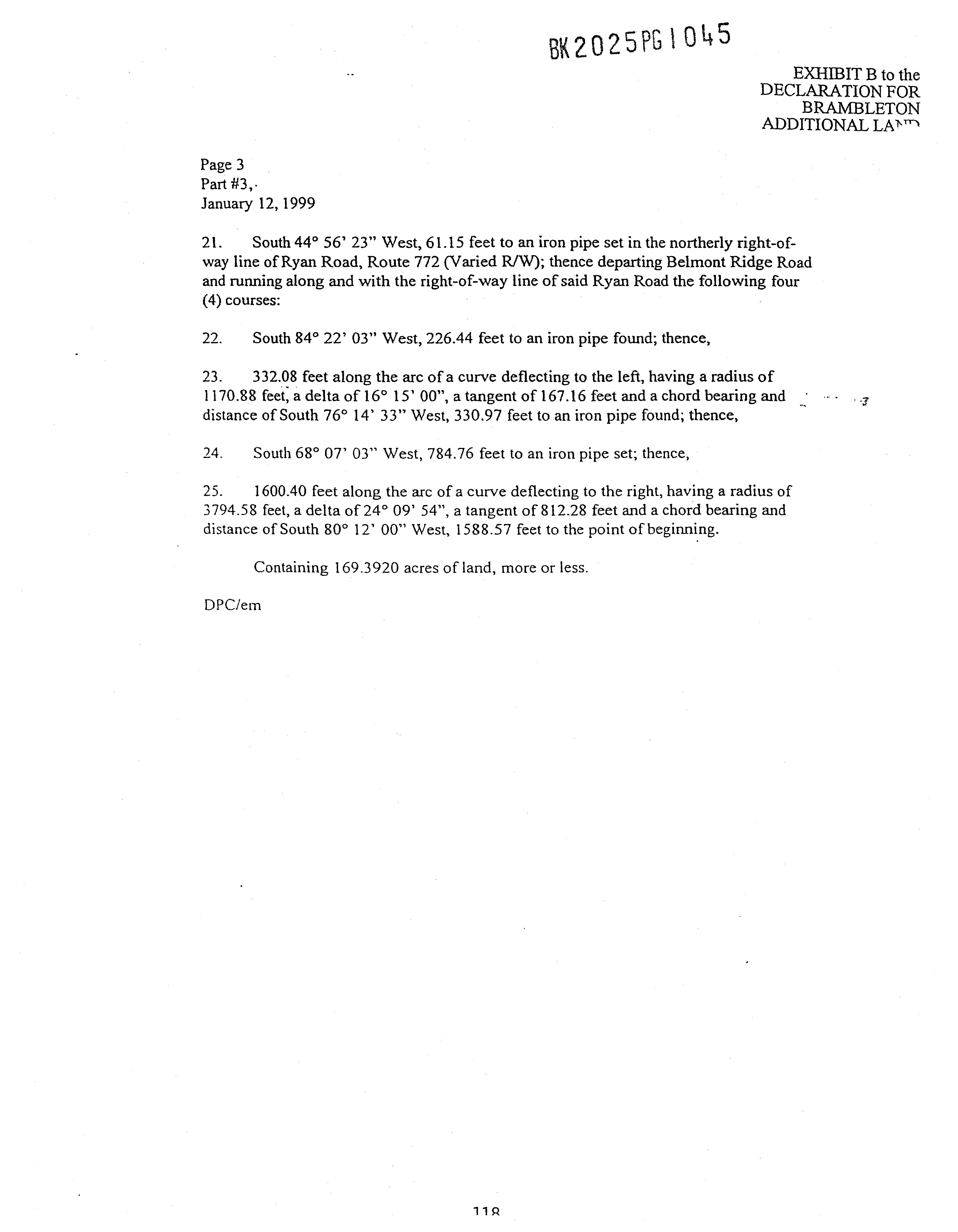
(8) "Assessments" means the sums levied against the Lots to pay Common Expenses and other expenditures by the Association, as provided in Article 6. Assessments include "Annual Assessments", "Additional Assessments," "Individual Assessments" and "Special Assessments" (leviep. pursuant to sectfon 55-514 of the POA Act).
(9) "Association" means BRAMBLETON COMMUNITY ASSOCIATION, and, with respect to the rights_ and obligations of the Association set forth in this Declaration, its successors and assigns.
(10) "Association Documents" means collectively, the Articles of Incorporation, this Declaration, Supplementary Declarations, and the Bylaws, all as amended from time to time. Any exhibit, schedule, certification or amendment to an Association Document is an integral part of that document.
(11) "Board of Directors" or "Board" means the executive and administrative entity established by Article S·of the Articles of Incorporation as llie governing body of the Association.
(12) "Builder" means a Person (other than the Declarant) who is regularly in the business of and purchases land or two or more Lots within the Property solely for the purpose of constructing residential improvements for resale or rental.
(13) "Brambleton Community" means the Property subject to the Declaration and any land subject to a separate Commercial Declaration or Multifamily Declaration.

(14) "Bylaws" means the Bylaws of the Association, as amended from time to time.
(15) "Common Area" means, at any given time, all of the Property other than Lots, then owned or leased by the Association for the benefit, use and enjoyment of the Owners; provided, however, that land within the Property is not Common Area solely because it is burdened by an easement for utilities, landscaping, storm water management or signage or dedicated as a public street or roadway even though the Association may maintain such area. "Common Easement Areas" means, at any given time, any easement available to the Association as specifically located herein, in any Supplementary Declaration or in a separate deed of easement for the benefit or use of the Owners. A portion of the Common Easement Areas which the Association has the right to use and/or maintain as Trails, storm water management ponds or otherwise for the benefit of the Owners may be located within a Lot. For the purposes of operation and control, such portion of the Lot shall be treated as Common Area; for purposes of ownership, such portion shall be part of the Lot and shall be included in the calculation of voting rights and Assessment.
( a) "Reserved Common Area" means a portion of the Common Area for which the Board of Directors has granted a temporary, revocable license pursuant to Section 3 .9 for the exclusive use of Owners of one or more but fewer than all the Lots. The Recreational Facilities shall be treated as Reserved Common Area.
(b) "Limited Common Area" means a portion of the Common Area which has been designated by the Declarant pursuant to Section 3.9 for the primary or exclusive (if specifically designated) use, as appropriate, of Owners of one or more but fewer than all of the Lots.
(16) "Common Expenses" means all expenses incurred by or on behalf of the Association, together with all sums determined by the Board of Directors to be reasonably necessary for the creation and maintenance of reserves pursuant to the provisions of the Association Documents. Except when the context clearly requires otherwise, any reference to Common Expenses includes Limited Common Expenses.
(a) "Limited Common Expenses" means all expenses incurred by or on behalf of the Association and benefiting one or more but fewer than all of the Owners and assessed against the Lots owned by the Owners benefited pursuant to paragraph (2) of Section 6.2(a), including Recreational Facilities Expenses
(b) "Recreational Facilities Expenses" means all expenses incurred by or on behalf of the Association for the management and Upkeep of and insurance for the Recreational Facilities and such amounts as the Board of Directors may determine to be necessary to create reserves for the repair and replacement of the Recreational Facilities.

(17) "County" means Loudoun County, Virginia. All references to approval by the County mean approval by the appropriate agency or official of the County, as determined by the Office of the County Attorney at that time.
( 18) "Covenants Committee" means any of the committees that may be established pursuant to Article 9 to assure that the Property will be maintained in a manner consistent with the purposes and intents of this Declaration. Any reference to the Covenants Committee shall mean the appropriate Covenants Committee having authority with respect to the Lot as provided in Article 9 and the following subparagraphs:
(a) "Initial Construction Committee" means the committee appointed by the Declarant that reviews proposed initial construction of any structure on the Property.
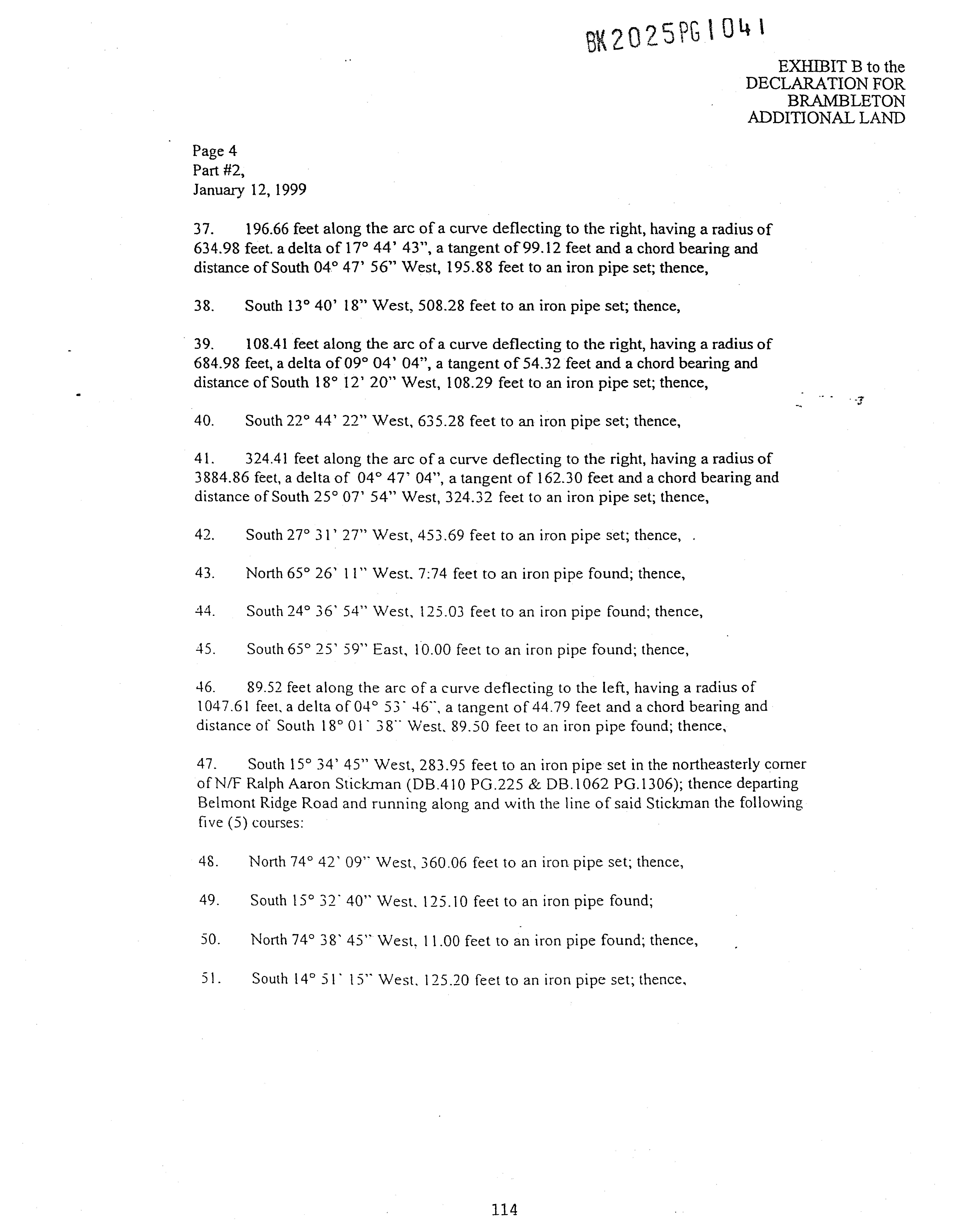
(b) "Modifications and Rules Enforcement Committee" means the committee that reviews proposed plans for any visible additions, alterations or modifications to the exterior of existing residential structures on the Property, located on Single Family Lots and Civic Lots, but excluding Commercial Lots and Multifamily Lots. The Modifications and Rules Enforcement Committee shall also review possible violations of the Rules and Regulations and recommend appropriate enforcement action with respect to all Lots, other than Commercial Lots and Multifamily Lots.
(c) "Commercial Review Committee" means the committee that reviews proposed plans for any visible additions, alterations or modifications to the exterior of existing improvements located on Commercial Lots and Multifamily Lots subject to the Declaration. The Commercial Review Committee shall also review possible violations of the Rules and Regulations and recommend appropriate enforcement action with respect to Commercial Lots and Multifamily Lots subject to the Declaration.
(19) "CPI" means the Consumer Price Index-All Urban Consumers published by the Bureau of Labor Statistics, U.S. Department of Labor, as required by the Proffers. Whenever in the Association Documents the CPI is used, if the index ceases to be published, then such other index as may be published by the U.S. Department of Labor or other reliable governmental or other nonpartisan index intended to reflect general increases in the cost ofliving in the Washington, D:C. Metropolitan area or similar urban area, designated by the Board of Directors and approved by the County may be used.
(20) "Declarant" means Brambleton Group, L.L.C., a Michigan limited liability company. Following recordation of a document assigning to another Person all or some of the rights reserved to the Declarant under the Association Documents, pursuant to Section 5.2, the term "Declarant" shall mean or include that assignee.
(21) "Declarant Control Period" means the period beginning on the date of incorporation of the Association and ending on the earliest of: (1) the later of (i) the seventh anniversary of the date of recordation of the Declaration or (ii) the seventh anniversary of the

(23) "Design Guidelines" means the standards and guidelines adopted by the Board of Directors pursuant to Article 9 and any standards established by the Declarant.
(24) "Development Period" means the period of time that the Declarant (or a lender holding Special Declarant Rights) or any Builder is engaged in development or sales of the Property or the Additional Land or activities relating thereto, during which time the Declarant (or a lender holding Special Declarant Rights) is entitled to exercise certain "Special Declarant Rights" under the Association Documents as described in Article 5. When (i) all the Submitted Land is owned by Owners other than the Declarant ( or a lender holding Special Declarant Rights) or a Builder; (ii) all the Additional Land is owned by Owners other than the Declarant (or a lender holding Special Declarant Rights) or a Builder; and (iii) all of the bonds held by a governmental agency with respect to the Property or the Additional Land have b.een • released, then the Development Period shall end.
(25) "Development Plan" means the general development plan or plans for the Submitted Land and/or Additional Land as approved by resolutions of the Board of Supervisors of Loudoun County, Virginia as ofNovember 15, 1995, in connection with Rezoning Application 1993-0005, Zoning Concept Plan Amendment 1993-0007 and Special Exception 1993-0017, approved November 16, 1995, all as amended from time to time, (collectively, the "Proffers") and such additional development as may be approved by the County. Although the Declarant intends to develop the Property substantially in accordance with the Development Plan and Proffers, the Declarant reserves the right to modify the Development Plan and Proffers subject only to the requirements and procedures of the County.
(26) "Golf Club" or "Club" means the planned golf course and associated club, or any successor club which may be developed as part of or adjacent to the Property: provided, however, that the golf course and the club may be developed as the same or separate entities with separate or shared facilities.
(27) "Golf Club Documents" means the charter, bylaws, membership agreements or other documents developed by the Golf Course Owner or the Club Owner governing the membership rights in the use of the Golf Course or the Club and associated facilities, as the same may be amended by the Golf Course Owner and/or the Club Owner at any time and from time to time.
(28) "Golflnvitee" means the Golf Course Owner's guest, invitee, employee or other authorized user of the Golf Course.
(29) "Golf Club Recreational Facilities" or "Club Recreational Facilities" means the swimming pool, tennis courts and associated buildings and facilities located within the Golf Course or Club and owned by the Golf Course Owner or Club Owner, such facilities not being part of the Common Area.

(30) "Golf Course" means the golf course shown on the Development Plan within or adjacent to the Property, whether or not subject to this Declaration, as long as such land is owned and operated primarily as a golf course and is not used for residential purposes.
(31) "Golf Course Owner" means the owner of the Golf Course or its successors and assigns. "Club Owner" means the Owner of the Club if such facilities are separately owned.
(32) "Land Re9ords" means the land records of Loudoun County, Virginia.
• (33) "Lot" means a portion of the Property designated as a separ~te
subdivided lot ofrecord (but not including the land designated as Common Area and owned or leased by the Association or land dedicated for public street purposes) on a plat of subdivision, resubdivision, consolidation or boundary line adjustment of a portion of the Property recorded among the Land Records or any other parcel ofland held in separate ownership and includes any improvements now or hereafter appurtenant. Lot shall also mean any condominium unit created in accordance with Chapter 4.2 of Title 55 of the Code of Virginia (1950), as amended or any cooperative unit created in accordance with Chapter 29 of Title 55 of the Code of Virginia (1950), as amended. The common elements ofany condominium or cooperative are appurtenances to the units and are part of the Lot. The common area owned by any Subassociation operating within the Property shall be treated as a Lot, except that no voting rights or Assessments are associated with such property and except as specifically stated otherwise.
(a) "Civic Lot" means a Lot planned to be used primarily for public purposes and owned by a governmental or nonprofit entity, including without limitation schools, fire and rescue stations, police stations, libraries, group homes, churches (places of organized worship not used for residential purposes, including day care within a church building) and parks. If a Civic Lot is no longer used and occupied for a public purpose and owned by a governmental or nonprofit entity or is used for residential (except for group homes) or commercial office purposes, then such Lot shall no longer be a Civic Lot and shall be treated as a Commercial Lot, a Multifamily Lot or a Single Family Lot, as may be appropriate.
(b) "Commercial Lot" means a Lot planned to be used primarily for non-residential purposes such as corporate office, office building, golf course, industrial, sports center, commercial condominium units, day care (excluding day care within a church), retail use, restaurant, hotel or similar uses; provided, however, that the Declarant may provide in the Supplementary Declaration or Commercial Declaration applicable to any Lot containing all or any portion of a golf course for the "Golf Course Lot" to be treated differently for the purposes of voting and assessment.
(c) "Multifamily Lot" means a Lot planned to be used primarily for multiple dwellings occupied by persons other than the Owners of the Lot, including, without limitation rental apartments.

( d) "Single Family Lot" means a Lot planned to be used primarily as a residence, containing only one dwelling (or one dwelling and an Accessory Unit) and, unless otherwise specified, includes without limitation Lots containing townhouses, residential condominium units, residential cooperative units or detached or semi-detached single family homes, but not including group homes.
(e) "Combination Lot" means a Lot upon which the buildings contain or will contain both residential and non-residential uses. For example, a Lot containing an elderly congregate care facility may be a Combination Lot. Whether a Lot is primarily a Multifamily Lot, a Commercial Lot or a Single Family Lot should first be determined by reference to the designation made by the Declarant in the applicable Supplementary Declaration. Special provisions for the voting rights and Assessment obligations of the Owner of such Lot shall also be determined by reference to the Supplementary Declaration. If the Supplementary Declaration applicable to such Lot does not designate the nature of the Lot or otherwise provide for the basis of voting and assessment, then whether such a Lot is treated as a Multifamily Lot, a Commercial Lot or a Single Family Lot may be determined by comparing the amount of gross floor area designed and used for residential versus non-residential purposes.
(34) "Majority Vote" means a simple majority (more than fifty percent) of the votes entitled to be cast by members present in person or by proxy at a duly held meeting at which a quorum is present. Any vote of a specified percentage of members means that percentage with respect to the total number of votes actually cast by members present in person or by proxy at a duly held meeting at which a quorum is present. Any vote by a specified percentage of the Board of Directors (or a committee) means that percentage with respect to votes entitled to be cast at a duly held meeting of the Board (or committee) at which a quorum is present. Any vote of or approval by a specified percentage of the Mortgagees means a vote of or approval (whether actual or presumed) by the Mortgagees calculated according to the number of votes allocated to the Lots ( or the Owners of the Lots) on which a Mortgage is held by a Mortgagee.
(35) "Mortgagee" means an institutional lender (one or more commercial or savings banks, savings and loan associations, trust companies, credit unions, industrial loan associations, insurance companies, pension funds or business trusts, including but not limited to real estate investment trusts, any other lender regularly engaged in financing the purchase, construction or improvement of real estate, or any assignee of loans made by such lender, or any combination of any of the foregoing entities) holding a first mortgage or first deed of trust ("Mortgage") encumbering a Lot which has notified the Board of Directors of its status and has requested all rights under the Association Documents in writing pursuant to Section 13.2. Only for the purposes of the notice and inspection rights in Articles 13, 15 and 16 of the Declaration, the term "Mortgagee" shall also include the Federal Housing Administration ("FHA"), the Federal Home Loan Mortgage Corporation ("FHLMC"), Fannie Mae (formerly the Federal National Mortgage Association) ("FNMA"), the Department of Veterans Affairs ("VA"), the Government National Mortgage Association ("GNMA") and any other public or private secondary mortgage market agency participating in purchasing, guarantying or insuring

Mortgages which has notified the Board of Directors of such participation in writing (together the "Secondary Mortgage Agencies").
(36) "Neighborhood" means one or more Lots which are designated as such in a Supplementary Declaration.
(37) "Officer" means any Person holding office pursuant to Article 6 of the Bylaws.
(38) "Owner" means one or more Persons who own a Lot in fee simple, but does not mean any Person having an interest in a Lot solely by virtue of a contract or as security for an obligation. The term "Owner" is also sometimes used to refer to a member-of the -1 Association.
(39) "Person" means a natural person, corporation, partnership, limited liability company, association, trust or other entity capable of holding title or any combination thereof.
(40) "Phase" or "Section" means a portion of the Property designated as provided in Section 4.3.
(41) • "POA Act" means the Virginia Property Owners' Association Act, Chapter 26 of Title 55 of the Code of Virginia (1950), as the same may be amended, supplemented or replaced from time to time.
(42) "Property" means, at any given time, the Submitted Land then subject to the Declaration (including Lots and Common Area) and includes all improvements and appurtenances thereto now or hereafter existing.
(43) "Private Streets and Roadways" means all streets, roadways, sidewalks, curbs, gutters and parking areas which are part of the Common Area, but not including streets and roadways dedicated to public use by a plat or deed of dedication.
(44) "Recreational Facilities" means the swimming pools and associated buildings and facilities owned by the Association, but not including tennis courts, tot lots, playing fields, Trails and community centers open to all Owners and their designees and not including the Golf Club Recreational Facilities or Club Recreational Facilities. The Recreational Facilities shall be Reserved Common Area.
(45) "Rules and Regulations" means the rules and regulations governing the use, occupancy, operation and physical appearance of the Property adopted from time to time by the Board of Directors.

(46) "Subassociation" means any owners association, condominium unit owners association or cooperative association governing a portion of the Property and representing Owners of Lots.
(47) "Submitted Land" means the land designated as such in Exhibit A and all land which is from time to time submitted to the Declaration. If a portion of the Additional Land is developed as multifamily residential or non-residential and subject to a separate Multifamily Declaration or Commercial Declaration, then such land shall not be considered Submitted Land subject to this Declaration and shall only be subject to the provisions of the applicable Multifamily Declaration or Commercial Declaration.
- (48) "Trails" means the paths and trails constructed by the Declarant·or --:r by an Owner pursuant to an agreement with the Declarant across Lots and any Common Area, which shall be maintained by the Association for the use of all Owners or those portions of the Property subject to a sidewalk/trail easement granted to the County. Such paths and trails shall be considered part of the Common Area, even though located within a Lot.
(49) "Upkeep" means care, inspection, maintenance, snow and ice removal, operation, repair, repainting, remodeling, restoration, improvement, renovation, alteration, replacement and reconstruction.
(50) "Visible from Neighboring Property" means with respect to any given object on a Lot, that such object is or would be visible to,a person six feet tall, standing on any part of any adjacent Lot or other real estate at an elevation no greater than the elevation of the base of the object being viewed.
Section 1.2. Construction of Association Documents.
(a) Captions. The captions are provided only for reference, and in no way define, limit or describe the scope, meaning or effect of any provision. All cross-references are to the Declaration unless otherwise indicated.
(b) Pronouns. The use of the masculine gender shall be deemed to include the feminine and neuter genders, and the use of the singular shall be deemed to include the plural and vice versa, whenever the context so requires.
(c) Severability. Each provision of an Association Document is severable from every other provision, and the invalidity or unenforceability of any one or more provisions shall not change the meaning of or otherwise affect any other provision. To the extent that any provision of the Association Documents is found to be overly broad or unenforceable and a narrower or partially enforceable construction may be given to such provision, then the narrower or partially enforceable construction shall be applied and, to the extent lawful, the provision shall be enforced.

(d) Interpretation. If there is any conflict among the Association Documents, the Declaration and thereafter, the applicable Supplementary Declaration shall control, except as to matters of compliance with the Act, in which case the Articles of Incorporation shall control. Specific provisions shall control general provisions, except that a construction consistent with the Act shall in all cases control over any inconsistent construction. The provisions of the Bylaws shall control over any conflicting provision of any rule, regulation or other resolution adopted pursuant to any of the Association Documents. The Association Documents shall be construed together and shall be deemed to incorporate one another in full. Any requirements as to the content of one shall be deemed satisfied if the deficiency can be cured by reference to any of the others.
(e) • •No Merger: Savings Clause. The easements granted and reservatio_p.s • • made herein or in any Supplementary Declaration shall not terminate or merge and shall continue to run with the land, notwithstanding the common law doctrine of merger and the common ownership of the Property at this time by the Declarant. If the intended creation of any easement provided for in this Declaration should fail by reason of the fact that at the time of creation there may be no grantee in being having the capacity to take and hold such easement, then any such grant of easement deemed not to be so created shall nevertheless be considered as having been granted directly to the Association as agent for such intended grantees for the purpose of allowing the Persons to whom the easement were originally to have been granted the benefit of such easement. With respect to the transfer of Special Declarant Rights, any reference to the Declarant's successors and assigns, shall mean only those successors and assigns to which the Special Declarant Rights have been transferred pursuant to Article 5.
(f) Ambiguities Resolved by Declarant. If there is any ambiguity or question as to whether any Person, land or improvement falls within any of the definitions set forth in Article 1, the determination made by the Declarant (as evidenced by a recorded Supplementary Declaration) or practice of the Association during the Declarant Control Period shall be binding and conclusive.
(g) Use ofNew Technology. Due to the ongoing development of new technologies and corresponding changes in business practices, to the extent permitted by law now or in the future: (1) any notice required to be sent or received; (2) any signature, vote, consent or approval required to be obtained; or (3) any payment required to be made, under the Association Documents may be accomplished using the most advanced technology available at that time if such use is a generally accepted business practice. The use of technology in implementing the provisions of this Declaration dealing with notices, payments, signatures, votes, consents or approvals shall be governed by Section 1.2 of the Bylaws.
Section 1.3. The Association.
(a) Creation. The Brambleton Community Association is a nonstock corporation organized and existing under the laws of the Commonwealth of Virginia, charged with the duties and vested with the powers prescribed by law and set forth in the Association Documents.

(b) Membership. Members of the Association shall at all times be, and be limited to, the Declarant ( during the Development Period) and other Persons who constitute Owners of the Lots. If more than one Person owns a Lot, then all of the Persons who own such Lot shall collectively constitute one Owner and be one member of the Association. Each Person is entitled to attend all meetings of the Association. Membership in the Association is mandatory and automatic with ownership of a Lot.
(c) Classes of Owners; Voting Rights. The Association shall have the classes of Owners (members) with the voting rights set forth in Article 4 of the Articles of Incorporation and as follows:
The Class A Owners shall be the Owners of Single Family Lots, other than the Declarant or a Builder during the Declarant Control Period, and shall have one vote for each Lot owned. After the Declarant Control Period, the Declarant and any Builder shall become a Class A Owner.
The Class B Owners shall be the Owners of Multifamily Lots, including the Declarant, and shall have one vote for each five dwelling units located or permitted to be located under zoning regulations on such Lot; provided, however, that if land to be developed as multifamily residential is subject to a separate Multifamily Declaration, then the owner of such land is not a member of the Association and shall have no vote.
The Class C Owners shall be the Owners of Commercial Lots, including the Declarant, and shall have one vote for each 2,000_square feet of Assessable Floor Area (rounded to the nearest tenth of a vote) within the improvements located on such Lot provided, however, that an Owner of a Commercial Lot subject to the Declaration shall be entitled to at least one vote; provided, further, that if land to be developed as non-residential is subject to a separate Commercial Declaration, then the owner of such land is not a member of the Association and shall have no vote.
The Class D Owners shall be the Owners of Civic Lots and shall have no vote.
The Class E Owner shall be the Declarant. The Declarant shall have 8,400 votes [a number equal to one and one-halftimes the total maximum number of votes which would be appurtenant to all the Single Family Lots that could be created when the Submitted Land and any Additional Land are fully developed] less the number of votes held by the Class A Owners when a vote is taken. If the Declaration is amended from time to time to include additional land that was not originally described on Exhibits A and B to the Declaration when the Declaration was recorded, if the land described in Exhibit B as "Adjacent Properties" is developed by the Declarant or if the Development Plan is amended to increase the maximum number of single family dwellings permitted on the Submitted Land and the Additional Land above 5,600 units, then the number of votes of the Class E Owner described above shall be increased by one and one-halftimes the number of votes that would be appurtenant to any additional Single Family

The Association shall accept title to any real estate or personal property offered to the Association by the Declarant. The Declarant will try to specifically identify the Common Area, but such identification shall not be required in order for the land to be Common Area. If the Declarant determines that a particular parcel of land is or is not Common Area, such determination shall be binding and conclusive. The Common Area may change from time to time. Accordingly, references to Common Area shall be deemed to refer to the Common Area existing at the relevant time.
Section 2.2. No Dedication. Nothing contained herein or in the other Association Documents shall be construed as a dedication to public use or as an assumption of responsibility for Upkeep of any Common Area by any public or municipal agency, authority or utility, nor shall it be construed to prevent the Board of Directors of the Association from permitting public -x access to or use of any Common Area.
Section 2.3. Regulation of Common Area. The Board of Directors shall have the right to regulate use of the Common Area pursuant to Section 8.3 and to charge fees for individual use of Common Area owned in fee simple by the Association. The Board may also allow nonmembers to use portions of the Common Area, specifically Recreational Facilities, on a daily, an annual or one-time fee basis. The Board of Directors may also mortgage, dedicate or convey Common Area owned in fee simple by the Association or grant easements over and through the Common Area subject to the restrictions in Section 15.4.
Section 2.4. Transfer of Responsibility for Upkeep. When the Declarant or a Builder substantially completes improvements on any portion of the Common Area and transfers responsibility for Upkeep for such portion of the Common Area to the Association, a representative of the Association appointed by the Board of Directors shall inspect such portion of the Common Area and shall report its condition to the Board of Directors within fifteen days after notice from the Declarant or Builder that such portion of the Common Area is ready for inspection. If the Association fails to do so within the fifteen-day period, the Association waives its rights under this section. When the Declarant or Builder transfers the responsibility for Upkeep of any portion of the Common Area to the Association, any improvements located thereon shall be substantially complete, all work (except for such work which cannot be performed due to the weather conditions or the season of the year, which the Declarant or Builder will be obligated to complete when weather conditions permit) required by the site plan shall be either completed or bonded with the County and such portion of the Common Area and improvements on such portion of the Common Area shall be in a condition generally acceptable to the Association. When the Association assumes responsibility for Upkeep for a portion of the Common Area, the Association shall cooperate with the Declarant or Builder to obtain release of County bonds. If such Common Area and the improvements located thereon are not in such condition, the Association shall notify the Declarant or Builder in writing, specifying the deficiencies, whereupon the Declarant or Builder shall have ninety days to remedy the deficiencies. After such ninety-day period, the Association may perform on behalf of the Declarant and the Declarant or Builder shall promptly reimburse the Association for the reasonable costs incurred.

Section 2.5. Additional Improvements on Common Area. After the initial improvement and conveyance of any Common Area to the Association, the Declarant or a Builder may, but is not obligated to, construct additional improvements on the Common Area for the benefit of the Property, pursuant to the easements in Section 3.1.
Section 2.6. Boundary Adjustments. The Association, acting through its Board of Directors (without the joinder or approval of any member, Owner or Mortgagee) has the power at any time or times, consistent with the then existing zoning or subdivision ordinances of the applicable governmental authority to transfer part of the Common Area for the purpose of adjusting Lot lines or otherwise in connection with the orderly subdivision and development of the Property; provided, however, that: (i) such transfer shall not reduce the portion of the Property designated as "open space" below the minimum level of"open space" required in.the· -J' subdivisions comprising the Property by the applicable County Ordinance at the time of the transfer; (ii) if the transfer results in a material reduction in the amount of Common Area (more than an acre), then the Declarant shall transfer or cause to be transferred to the Association such land as may be necessary to maintain the total acreage designated as "Common Area" at that level existing at the time of the transfer or the Association shall be otherwise reasonably compensated; (iii) the appropriate governmental authorities approve such Lot line adjustments; (iv) documents showing each such Lot line adjustment are submitted to the Department of Veterans Affairs ("VA") if VA is guarantying a Mortgage on a Lot directly affected by the adjustment; and (v) the boundary line adjustment is approved by all Owners of Lots for which the boundaries are being adjusted.
ARTICLE3
EASEMENTS
Section 3.1. Development Easements.
(a) Easements Reserved to the Declarant.
(1) Easement to Facilitate Development. The Declarant hereby reserves to itself and its successors and assigns a nonexclusive blanket easement over and through the Property for all purposes reasonably related to the_ dev-~lopment and completion of improvements on the Property and the Additional Land, including without limitation: (i) temporary slope and construction easements; (ii) drainage, erosion control and storm and sanitary sewer easements (including the right to cut or remove trees, bushes or shrubbery, to regrade the soil and to take any similar actions reasonably necessary: provided, however, that thereafter the Declarant shall restore the affected area as near as practicable to its original condition); (iii) easements for the storage (in a sightly manner) ofreasonable supplies of building materials and equipment necessary to complete the improvements; (iv) easements for the construction, installation and Upkeep of improvements (e~g., buildings, landscaping, street lights, signage, etc.) on the Property and the Additional Land or reasonably necessary to serve the Property or the Additional Land; and (v) easements for ingress and egress as necessary to perform the foregoing.

(2) Easement to Facilitate Sales. The Declarant hereby reserves to itself and its successors and assigns the right to: (i) use any Lots owned or leased by the Declarant, any other Lot with the written consent of the Owner thereof or any portion of the Common Area (including any buildings thereon) as models, management offices, sales offices, a visitors' center, construction offices, customer service offices or sales office parking areas (provided, however, that the Declarant or its designee, as appropriate, shall remain responsible for the Upkeep of that portion of the Common Area used for the foregoing purposes); (ii) place and maintain in any location on the Common Area and on any Lot (for a distance often feet behind any Lot line which parallels a public or private street), street and directional signs, temporary promotional signs, temporary construction and sales offices, plantings, street lights, entrance features, "theme area" signs, lighting, stone, wood or masonry walls or fences and other -J' related signs and landscaping features; provided, however, that all signs shall comply with applicable governmental regulations and the Declarant shall obtain the consent of the Owner of any affected Lot or of the applicable Covenants Committee if the Owner does not consent; and (iii) relocate or remove all or any of the above from time to time at the Declarant's sole discretion.
(3) Easement for Utilities, Community Systems and Related Services.
(A) General Utility Easement. A non-exclusive perpetual blanket easement is hereby granted over and through the Property for ingress, egress, installation and Upkeep of the equipment for providing to any portion of the Property or adjacent real estate, any utilities, including without limitation water, sewer, storm water management and drainage, oil, gas, electricity, solar, telephone, television, cable, broadband or other telecommunications service or Community Systems (as defined in Subsection 7 .8(b )), whether public or private; such easement is hereby granted to any Person installing or providing Upkeep for the aforesaid services. Any pipes, conduits, lines, wires, inlets, transformers, manholes and any other apparatus necessary for the provision or metering of any utility may be installed, maintained or relocated where permitted by the Declarant or where approved by resolution of the Board of Directors; provided, however that no line shall run beneath a dwelling other than the lines serving such dwelling.
(B) Specific Development Easement Areas.
The Declarant hereby reserves to itself and its successors and assigns the right to grant and reserve easements, rights-of-way and licenses over and through: (i) the Common Area; (ii) any common area within a planned community or the common elements of any condominium or cooperative located within the Property; (iii) any real estate conveyed to a Builder prior to subdivision into individual lots; (iv) any Commercial, Civic or Multifamily Lot within twenty-five feet of any boundary line of such Commercial, Civic or Multifamily Lot; or (v) any Single Family Lot within ten feet of any boundary line of such Single Family Lot for the installation and Upkeep of the equipment for providing to any portion of the Property or adjacent real estate, any utilities, including without limitation water, sewer, drainage, gas, electricity, telephone, cable, broadband, television or other telecommunications service or Community Systems (as defined in Subsection 7.8(b)), whether public or private, or for any other purpose necessary or desirable for the orderly development of

the Property or for the benefit of adjoining real estate; provided, however that no line shall run beneath a dwelling other than the lines serving such dwelling.
(4) Dedications and Easements Required by Governmental Authority.
The Declarant hereby reserves to itself and its successors and assigns, the right to make any dedications and to grant any easements, rights-of-way and licenses required by any government or governmental agency over and through all or any portion of: (i) the Common Area; (ii) any common area within a planned community or the common elements of any condominium or cooperative located within the Property; (iii) any real estate conveyed to a Builder prior to subdivision into individual lots; (iv) any Commercial, Civic or Multifamily Lot within twentyfive feet of any boundary line of such Commercial, Civic or Multifamily Lot; or (v) any Single Family Lot within ten feet of any boundary line of such Single Family Lot. The Declarfil!t also -J' hereby reserves to itself and its successors and assigns an easement to make any corrections required by a governmental authority or utility and a right to grant and reserve easements or to vacate or terminate easements across all Lots and Common Area as may be required by any governmental agency or authority or utility company in connection with the release of bonds or the acceptance of streets for public maintenance with respect to the Property.
(5) Landscaping Easement Across Lots: Trails.
(A) Landscaping. The Declarant hereby reserves to itself and its successors and assigns, an easement and the right to grant and reserve easements over and through the Common Area, the common area within any planned community or the common elements of any condominium or cooperative located within the Property or any real estate conveyed to a Builder prior to subdivision into individual lots, or over and through any Lot: (i) within fifty feet of any public or private right-of-way or twenty-five feet from any adjacent Lot in the case of a Commercial, Civic or Multifamily Lot; (ii) within ten feet of any public or private right-of-way in the case of a Single Family Lot; and (iii) and around the lake frontage of all lakes and storm water retention ponds, for a depth of twenty feet back from the high water mark. These easements shall be for the purpose of construction, installation, irrigation and Upkeep of landscaping features, including without limitation plants, trees and earth berms and other earth contouring and shall include ingress and egress as necessary to perform such tasks. Such easement area shall also be available for entrance features, project signage, fencing, and associated lighting and irrigation systems. The Owner of a Lot burdened by the easement shall not construct any improvements within the easement without the permission of the Declarant, during the Declarant Control Period, or the Board of Directors, thereafter. If the Board of Directors so determines, then the cost of the Upkeep of these easement areas by the Association shall be a Common Expense or a Limited Common Expense, as appropriate. Otherwise, the Owner of a Lot shall maintain the easement area located on such Owner's Lot at such Owner's own expense.
(B) Trails. In addition, the Declarant may install Trails within the easement areas described in this paragraph, without the permission or approval of the Owner of such Lot, or any other location over and through the Lot with the permission of the Owner of such Lot. The Declarant hereby reserves to itself and its successors and assigns, the right to

the applicable Assessment for Recreational Facilities Expenses. The Common Area containing the Recreational Facilities shall be Reserved Common Area for the exclusive use of the Class A Owners paying Assessments for the Recreational Facilities Expenses and such other Persons as may be permitted by the Board of Directors and the Declarant pursuant to this paragraph. Upon request, the Board of Directors may determine to provide memberships to any Class B, C or D Owner for a fee on a basis reasonably reflecting the number of users associated with such Owner. Once a Class B Owner requests membership in the Recreational Facilities, however, such Class B member can not withdraw from membership in the Recreational Facilities without the approval of the Board of Directors. The Declarant may also provide in a Supplementary Declaration that the Owner of a Commercial, Civic or Multifamily Lot shall have the right to use the Recreational Facilities upon payment of a certain fee as provided in the Supplementary Declaration applicable to such Lot. The Declarant may also provide in a Multifamily Declaration or a Commercia1 • • 1 Declaration that the owner of a portion of the Additional Land shall have the right to purchase membership in the Recreational Facilities. The rights and easements granted hereby shall be subject to all rights and powers of the Association (in addition to any easements granted or reserved in this Declaration or pursuant to other Association Documents), when exercised in accordance with the applicable provisions of the Association Documents.
(c) Limitations. The rights and easements of enjoyment created this Section shall be subject (in addition to any easements granted or reserved in this Declaration or pursuant to the other Association Documents) to all rights and powers of the Declarant and the Association when exercised in accordance with the other applicable provisions of the Association Documents, including without limitation the Association's right to designate Reserved Common Area, to regulate the use of the Common Area and to establish reasonable charges therefor, to grant easements across the Common Area, to dedicate or convey portions of the Common Area owned in fee simple by the Association and to mortgage the Common Area owned in fee simple by the Association, subject to Section 15.4. In the event of a default upon any Mortgage of the Common Area by the Association, the lender's rights hereunder shall be limited to a right, after taking possession of such Common Area, to charge reasonable admission and other fees, and, if necessary, to open enjoyment of such Common Area to a wider public, until such debt is satisfied, whereupon possession of the Common Area shall be restored to the Association and the rights of the Owners shall be fully restored.
(d) Delegation. Subject to the Rules and Regulations and such other restrictions as may be adopted by the Association, any Person having the right to use and enjoy the Common Area may delegate such rights to such Person's household or company, tenants, guests, customers, employees, agents and invitees and to such other Persons as may be permitted by the Association. The easements and rights granted by this Declaration shall not be enforceable by Persons to whom such easements and rights may be delegated by Owners, including without limitation the household or company, tenants, guests, customers, employees, agents and invitees of any Owner. This section does not affect, however, the rights of the holders of Mortgages in possession or court-appointed officers in possession and control of a Lot acting in the name, place and stead of Owners, or any Person's right to enforce any easements or rights granted in any lease or agreement between such Person and an Owner.

(e) Additional Land.
(1) Use Recreational Facilities. During the Development Period, the Declarant hereby reserves to itself and its successors and assigns the right to grant to each Person lawfully occupying any portion of the Additional Land a non-exclusive right and easement of use and enjoyment in common with others of the Recreational Facilities and associated parking areas constituting a portion of the Common Area and a right of access over and through the Common Area to such facilities. The rights and easements granted by the Declarant pursuant to this subsection shall be subject to all rights and powers of the Association, when exercised in accordance with the applicable provisions of the Association Documents (in addition to any easements granted or reserved in this Declaration or pursuant to other Association Documents). The Persons to whom this easement is granted or the owners association or unit owners _ _- - • -I association of any planned community or condominium or cooperative corporation located on the Additional Land shall pay to the Association an annual assessment levied exclusively for a share of the costs of management and Upkeep of the recreational amenities, parking areas or shared utilities and for services and facilities related thereto at least equal to the amount that would be payable if the Additional Land were subject to the Declaration as determined by the Declarant.
(2) Access Across Common Area. During the Development Period, the Declarant also reserves to itself and its successors and assigns the right to grant to each Person lawfully occupying a portion of the Additional Land a non-exclusive easement over all streets, walks and paths on the Common Area, as may be necessary for vehicular and/or pedestrian ingress and egress across such Common Area from a public right-of-way to any portion of the Additional Land that would not otherwise have access to a public right-of-way: provided, however, that the Persons benefiting from such easement bear a portion of the expense of Upkeep for the access roads in such amounts as may be determined by the Declarant.
Section 3.9. Reserved Common Area and Limited Common Area.
(a) Reserved Common Area. The Board of Directors shall have the power in its discretion from time to time to grant revocable licenses in the Common Area owned in fee simple by the Association by designating portions of the Common Area as Reserved Common Area. This right extends to Common Area that has been assigned as Limited Common Area for the primary use of the Owners of a group of Lots, so long as the assignment of Reserved Common Area is to one of the Owners of the Lots that have been designated to rec;eive the primary use of such Limited Common Area. Such Reserved Common Area shall be subject to such restrictions, reasonable charges and conditions on the use thereof as the Board may deem appropriate. Such Reserved Common Area shall be maintained by the Association as a Common Expense or a Limited Common Expenses or, at the Board's option, by the Persons having the exclusive right to use the Reserved Common Area. The Board of Directors is not required to assign Reserved Common Area in an uniform manner, but it is only required to use its business judgment. For example, the Board of Directors may determine to assign parking spaces to some Owners and not others, or to assign different numbers of parking spaces to different Owners based on whether or not such Owners have parking on such Owners' Lots, to provide for priority parking because of a handicap, or for other reasonably justifiable purposes.

(b) Limited Common Area. During the Development Period, the Declarant shall have the unilateral right without the joinder or approval of the Association or any member, Owner or Mortgagee, to restrict portions of the Common Area owned in fee simple by the Association in the nature of an easement for the primary (or exclusive if specifically designated) use of the Owners of one or more Lots by designating such portions of the Common Area as Limited Common Area. The Declarant may either: (i) indicate the locations of the Limited Common Area appertaining to one or more Lots by depicting such Limited Common Area and the Lots to which it is appurtenant on the plat attached as an Exhibit to a Supplementary Declaration; or (ii) label a portion of the Common Area shown on a plat as an Exhibit to a Supplementary Declaration as "Common Area that may be assigned as Limited Common Area", and thereafter assign such Limited Common Area to one or more specific Lots by unilaterally· -I amending the Supplementary Declaration to indicate the assignment, depicting the Limited Common Area being assigned and the Lots to which it is appurtenant. The Declarant hereby reserves the exclusive right to assign all or any portion of the Common Area as Limited Common Area to be used as parking spaces, being in the nature of a irrevocable easement for the exclusive use of the Owners of the Lots to which such spaces are appurtenant and the Declarant may unilaterally record an amendment to the Declaration showing the assignment of such Limited Common Area Parking Spaces.
Section 3.10. Limited Appointment of Attorney-in-Fact. Each Owner, for such Owner and such Owner's successors and assigns, by acquisition of title to all or any portion of the Property irrevocably appoints the Declarant during the Development Period and the Association after the Development Period as attorney-in-fact to grant, relocate and terminate all easements, rights-of-way and licenses which the Declarant or the Association has the power to grant pursuant to the Association Documents and subject to the limitations set forth therein: provided, however, that any action taken as attorney-in-fact shall not materially, adversely affect any Owner's use and development of the Lot owned by such Owner. The Declarant shall act as such attorney-in-fact only in furtherance of its development of the Property, and the Association shall act as such attorney-in-fact only in furtherance of its responsibilities and duties as set forth in the Association Documents, it being recognized that this grant of a power of attorney is required because the Declarant or the Association may not own the real estate to be subjected to easements, rights-of-way and licenses hereunder.
Section 3.11. Land Submitted by Owners Other than the Declarant. Any Person other than the Declarant submitting land to this Declaration hereby grants to the Declarant, the Association and to each other Owner all rights, easements and other interests with respect to such land granted or reserved in this Article and shall provide such further assurances as may be required.
Section 3.12. Dedications. Notwithstanding any other provision of this Declaration, any easement created herein or pursuant hereto shall automatically terminate and cease to exist with respect to any portions of the Property dedicated for public rights-of-way and accepted into the Virginia State secondary system for maintenance.

DEVELOPMENT OF THE PROPERTY
Section 4.1. Expansion by the Declarant
(a) Designated Additional Land. The Declarant hereby reserves the unilateral right until the twenty-fifth anniversary of the date of recordation of this Declaration to expand the Property from time to time without the joinder or approval of the Association, any member, Owner or Mortgagee (except the Owner of or holder of a Mortgage on such land) by submitting all or any portion of the Additional Land to the provisions of this Declaration and the jurisdiction of the Association whether or not such land is owned by the Declarant. The right to expal_!d may -:I be terminated only upon the recordation by the Declarant of an instrument relinquishing such option. The Declarant reserves the unilateral right, without the joinder or approval of the Association, any member, Owner or Mortgagee, to execute and record a Supplementary Declaration, subjecting any Lot to such additional covenants and restrictions as may be necessary to reflect the different characteristics of such Lot as are not inconsistent with the overall scheme of the Declaration; provided, however, that the Declarant shall not have such right after the conveyance of such Lot to an Owner other than the Declarant without the written consent of such Owner (and the holder of a Mortgage on such Lot), and provided, further, that the provisions in the applicable Supplementary Declaration shall control with respect to Multifamily Lots and Commercial Lots. The Declarant may add Additional Land in accordance with the procedures set forth in Section 4.3. There are no limitations on the option to expand except as set forth in this Article. If the Declarant does not submit all or any portion of the Additional Land to the Declaration, such land may be developed in any manner allowable under local zoning ordinance without regard to the restrictions in this Declaration.
(b) Undesignated Additional Land. The Declarant may unilaterally amend the description of Additional Land set forth in Exhibit B without the joinder or approval of the Association, any member, Owner or Mortgagee to expand the land area referred to as Additional Land whether or not such land is owned by the Declar'ant; provided, however, that such land is adjacent to the Property or across a public or private right-of-way and the addition of such land does not increase the total acreage of the land originally described in Exhibits A and B by greater than ten percent in either land area or total number of dwelling units or square footages of nonresidential development. Such amendment must also be approved by VA if a VA guaranty is in effect on a Mortgage.
Section 4.2. Expansion by the Association. With the written consent of the fee simple owner (if not the Association) and any holder of a Mortgage on such land, a Majority Vote of the members or written approval from members entitled to cast a majority of the total number of votes, and the written consent of the Declarant during the Development Period, the Association may submit any land located immediately adjacent to the Property or across a public or private right-of-way from the Property to the provisions of this Declaration and the jurisdiction of the Association, in accordance with the procedures set forth in Section 4.3. and subject to the limitations of Section 15.4.

Section 4.3. Procedure for Expansion: Additional Covenants. The Declarant or the Association, as appropriate, may record one or more amendments to the Declaration submitting the land described therein to this Declaration and to the jurisdiction of the Association ("Supplementary Declarations"). Any Supplementary Declaration may contain such additions to the provisions in this Declaration as may be necessary to reflect the different character of the land uses therein and as are not inconsistent with the overall scheme of this Declaration; provided, however, that such additions shall not apply to any land previously submitted to this Declaration after conveyance of a Lot to an Owner other than the Declarant without the written consent of the Owner of the Lot (and the holder of a Mortgage on such Lot) subject to the additional provisions and provided, further, that the provisions in the applicable Supplementary Declaration shall control with respect to Multifamily Lots and Commercial Lots. Upon • • • ·I recording a Supplementary Declaration submitting real estate to the Declaration, the provisions of the Declaration, including the provisions for voting rights and Assessments shall apply to the land thereby added as if such land were originally part of the Submitted Land, except as may be modified for Multifamily Lots and Commercial Lots. Any Owner other than the Declarant submitting Additional Land to the Declaration shall be deemed to have granted all the easements and rights granted and reserved herein to the Declarant, the Association and the Owners.
Section 4.4. Withdrawable Real Estate.
(a) By the Declarant. During the Development Period, the Declarant has the unilateral right, without the joinder or approval of the Association, or any member, Owner or Mortgagee (except the Owner of and holder of the Mortgage on the land being withdrawn), to sign and record an amendment to the Declaration and the applicable Supplementary Declaration withdrawing any portion of the Submitted Land from time to time if such land is: (i) zoned, used •or to be used for nonresidential or multifamily residential purposes and submitted to a declaration creating another property owners association or a separate Commercial Declaration or Multifamily Declaration that has been approved by the County; (ii) dedicated or to be dedicated to public use; or (iii) conveyed or to be conveyed to a public authority. This paragraph shall not apply to any portion of the Property for which any Zoning Permit has been issued by the County without the prior written approval of the County.
(b) _ By the Association. After the Development Period, the Board of Directors, acting on behalf of the Association without the joinder or approval of any member, Owner or Mortgagee, may record an amendment withdrawing any land (i) dedicated or to be dedicated to a public use; or (ii) conveyed or to be conveyed to a public authority. The Association may also amend the Declaration to withdraw other land, subject to the requirements of Section 15.4. This paragraph shall not apply to any portion of the Property for which any Zoning Permit has been issued by the County without the prior written approval of the County.
(c) Dedications for Public Streets. Any land dedicated to a public authority for public street purposes is automatically withdrawn and the Declarant or the Board of Directors may unilaterally, without the joinder or approval of any member, Owner or Mortgagee, record an instrument confirming such withdrawal.

Section 4.5. Non-Residential and Multifamily Residential Development. The provisions in the applicable Supplementary Declaration regarding voting, Assessments, rules enforcement and architectural review shall control with respect to Multifamily Residential Lots and Commercial Lots. The Declarant may also provide for a relationship between the Association and non-residential land or multifamily residential land by recording a separate Commercial Declaration or a separate Multifamily Declaration which provides for the collection of money or the sharing of maintenance responsibilities, without subjecting such non-residential land or multifamily residential land to the Declaration or making such land subject to the jurisdiction of the Association for the purposes of maintenance, rules enforcement or architectural control.
ARTICLES
SPECIAL DECLARANT RIGHTS; TRANSFER
Section 5.1. Special Declarant Rights. Special Declarant Rights are those rights reserved for the benefit of the Declarant as provided for in the Association Documents, and shall include without limitation the following rights: (i) to use, grant, reserve, vacate and terminate easements over and through the Property for the purpose of making improvements within the Property; (ii) to maintain models, management offices, construction offices, sales offices, visitor centers, customer service offices and signs advertising the Property; (iii) to exercise the rights and votes of the Class E member of the Association; (iv) to remove and replace any director or committee member appointed or elected by the Declarant; (v) to make unilateral amendments to the Association Documents as provided in Sections 3.9, 4.1, 4.4, and 15.1; (vi) to add Additional Land; (vii) to withdraw Submitted Land; and (viii) to exercise any other rights given to the Declarant. The Declarant may each exercise its Special Declarant rights unilaterally without the joinder or approval of the Association or any member, Owner or Mortgagee.
Section 5.2. Transfer of Special Declarant Rights.
(a) The Declarant may unilaterally transfer Special Declarant Rights created or reserved under the Association Documents without the joinder or approval of the Association, or any member, Owner or Mortgagee to any Person: (i) acquiring Lots or Additional Land; or (ii) holding a Mortgage on Submitted Land or Additional Land. Such transfer shall be evidenced by an instrument recorded in the Land Records within a reasonable time. The instrument is not effective unless executed by the transferor and transferee; provided, however, that a Person acquiring Lots or Additional Land pursuant to Subsection 5.2(c) may unilaterally execute and record an instrument to acquire some or all of the Special Declarant Rights.
A partial transfer of Special Declarant Rights does not prevent the transferor declarant from continuing to exercise Special Declarant Rights with respect to real estate retained by such declarant. The instrument providing for a partial transfer of Special Declarant Rights shall allocate voting rights between the transferor and the transferee. Each Person entitled to exercise Special Declarant Rights under the Association Documents has the right to transfer such

rights unilaterally with respect to real estate owned by such Person, except to the extent provided otherwise in the instrument transferring the Special Declarant Rights to such Person. If at any time no Declarant (or holder of Special Declarant Right) exists and a portion of the Submitted Land or the Additional Land has not been developed, then a successor declarant who owns such undeveloped Submitted Land or Additional Land may be appointed by an amendment to the Declaration made pursuant to Section 15.2.
(b) Upon transfer of any Special Declarant Right, the liability of a transferor declarant is as follows:
(1) A transferor is not relieved of any obligation or liability arising before the transfer and remains liable for warranty obligations (if any) the transferor has •'I undertaken by contract or which are imposed upon the transferor by law.
(2) If the successor to any Special Declarant Right is an Affiliate of a declarant (as defined in Subsection (g)), the transferor is jointly 'and severally liable with the successor for any obligation or liability of the successor that relates to the Property.
(3) If a transferor retains any Special Declarant Rights, but transfers other Special Declarant Rights to a successor who is not an Affiliate of the declarant, the transferor remains liable for any obligations and liabilities relating to the retained Special Declarant Rights imposed on a declarant by the Association Documents arising after the transfer.
(4) A transferor has no liability for any act or omission, or any breach of a contractual or warranty obligation arising from the exercise of a Special Declarant Right by a successor declarant who is not an Affiliate of the transferor.
(c) Unless otherwise provided in a Mortgage, in case of foreclosure of a Mortgage (or deed in lieu of foreclosure), tax sale, judicial sale, sale by a trustee under a deed of trust or sale under the Bankruptcy Code or receivership proceedings, of any Lots or Additional Land owned by a declarant, a Person acquiring title to all the Lots or Additional Land being foreclosed or sold, but only upon such Person's request, succeeds to all Special Declarant Rights related to such Lots or Additional Land or only to any rights reserved in the Association Documents to maintain models, management offices, construction offices, sales offices, customer service offices and signs advertising the Property. The judgment, instrument conveying title or other instrument recorded in the Land Records shall provide for transfer of only the Special Declarant Rights requested.
(d) Upon foreclosure ( or deed in lieu of foreclosure), tax sale, judicial sale, sale by a trustee under a deed of trust, or sale under the Bankruptcy Code or receivership proceedings, of all Lots and Additional Land owned by a declarant: (i) the declarant ceases to have any Special Declarant Rights, and (ii) the Declarant Control Period terminates unless the judgment, instrument conveying title or other instrument recorded among the Land Records within a reasonable time provides for transfer of Special Declarant Rights.

(e) The liabilities and obligations of Persons who succeed to Special Declarant Rights are as follows:
(1) A successor to any Special Declarant Right who is an Affiliate of a declarant is subject to all obligations and liabilities imposed on the transferor by the Association Documents.
(2) A successor to any Special Declarant Right, other than a successor described in paragraphs (3) or (4) of this subsection or a successor who is an Affiliate of a declarant, is subject to all obligations and liabilities imposed by the Association Documents: (A) on a declarant which relate to such declarant's exercise or non-exercise of Special Declarant Rights; or (B) on the· transferor, other than: (i) misrepresentations by any previous declara;nt; •(ii) ·I warranty obligations, if any, on improvements made by any previous declarant, or made before the Association was created; (iii) breach of any fiduciary obligation by any previous declarant or such declarant's appointees to the Board of Directors; or (iv) any liability or obligation imposed on the transferor as a result of the transferor's acts or omissions after the transfer.
(3) A successor to only a right reserved in the Association Documents to maintain models, sales offices, customer service offices and signs, if such successor is not an Affiliate of a declarant, may not exercise any other Special Declarant Right, and is not subject to any liability or obligation as a declarant.
(4) A successor to all Special Declarant Rights held by a transferor who succeeded to those rights pursuant to foreclosure, a deed in lieu of foreclosure or a judgment or instrument conveying title under Subsection (c), may declare the intention in an instrument recorded in the Land Records to hold those rights solely for transfer to another Person. Thereafter, until transferring all Special Declarant Rights to any Person acquiring title to any Lots owned by the successor, or until recording an instrument permitting exercise of all those rights, that successor may not exercise any of those rights other than any right held by the transferor to vote as the Class E member in accordance with the provisions of the Association Documents for the duration of any Declarant Control Period, and any attempted exercise of those rights is void. So long as a successor declarant may not exercise Special Declarant Rights under this subsection, such successor is not subject to any liability or obligation as a declarant.
(f) Nothing in this Article subjects any successor to a Special Declarant Right to any claim against or other obligation of a transferor declarant, other than claims and obligations arising under the Association Documents.
(g) For the purposes of this section, "Affiliate" or "Affiliate of a declarant" means any Person who controls, is controlled by, or is under common control with a declarant. A Person controls a declarant if the Person (i) is a general partner, officer, director or employer of the declarant, (ii) directly or indirectly or acting in concert with one or more Persons or through one or more subsidiaries, owns, controls, holds with power to vote, or holds proxies representing more than twenty percent of the voting interests in the declarant, (iii) controls in any manner the election of a majority of the directors oftlie declarant, or (iv) has contributed more

than twenty percent 'of the capital of the declarant. A Person is controlled by a declarant if the declarant (i) is a general partner, officer, director or employer of the person, (ii) directly or indirectly or acting in concert with one or more other Persons or through one or more subsidiaries, owns, controls, holds with power to vote or holds proxies representing more than twenty percent of the voting interest in the Person, (iii) controls in any manner the election of a majority of the directors of the Person, or (iv) has contributed more than twenty percent of the capital of the Person. Control does not exist if the powers described in this paragraph are held solely as security for an obligation and are not exercised.
Section 5.3. No Obligations. Nothing contained in the Association Documents shall impose upon the Declarant or its successors or assigns any obligation of any nature to build, construct, warrant, renovate or provide any improvements. Neither the Declarant nor its .:
successors or assigns shall be liable to any Owner or occupant by reason of any mistake in judgment, negligence, nonfeasance, action or inaction or for the enforcement or failure to .enforce any provision of this Declaration. No Owner or occupant of any portion of the Property shall bring any action or suit against the Declarant to recover any damages or to seek equitable relief because of the enforcement or failure to enforce any provision of the Declaration against a third party. This section shall not be construed to release or absolve the Declarant, its successors-or assigns from any obligation imposed by the duly adopted ordinances of the local jurisdiction, including without limitation the approved Proffers and conditions of subdivision approval.

ARTICLE6
COMMON EXPENSES AND ASSESSMENTS
Section 6.1. Determination of Common Expenses and Budget.
(a) Fiscal Year. The first fiscal year of the Association shall be as determined in accordance with Section 9.4 of the Bylaws.
(b) Preparation and Approval of Budget.
(1) At least sixty days before the beginning of each fiscal year, the Board of Directors shall adopt a budget for the Association containing an estimate of the total amount considered necessary for the ensuing fiscal year to pay the cost of management and Upkeep of the Common Area and, to the extent provided in the Association Documents, Upkeep of the Lots, and the cost of other expenses that may be declared to be Common Expenses by the Association Documents or by a resolution of the Board of Directors, including without limitation services provided to the Owners, Lots or Common Area.
(2) Such budget shall also include such reasonable amounts as the Board of Directors considers necessary to provide working capital (available cash for day-to-day expenses that is otherwise uncommitted), a general operating reserve (including an amount to cover operating losses due to insurance deductibles) and reserves for contingencies (potential costs or liabilities which have not been incurred but which should be planned for) and reserves for replacements. At least forty days before the beginning of each fiscal year, the Board of Directors shall make available a copy of the budget in a reasonably itemized form that sets forth the amount of the Common Expenses and provide a copy of such budget to each member and Owner. Such budget shall constitute the basis for determining the Assessment against each Lot.
(3) The budget shall also reflect the separate assessment of Limited Common Expenses, including without limitation certain expenses (and reserves) relating to or benefiting one or more but less than all of the Lots, whether categorized by location or type of expense. Such expenses shall be assessed only against the Lots benefited in accordance with Subsection 6.2(a)(2).
(c) Installment Payments and Due Dates. Any and all such Assessments and other charges shall be a lien against each Owner's Lot as provided in Section 12.2. On or before the first day of each fiscal year, and the first day of each succeeding payment period in such fiscal year, each Owner shall pay to such Person at such place as the Board of Directors may direct that installment of the Annual Assessment which is due during such period. The Board of Directors shall establish one or more payment periods and the due dates for each such payment in

each fiscal year; provided, however, that payments shall be due not less than semi-annually or more frequently than monthly unless specifically provided otherwise herein. All sums collected by the Board of Directors with respect to Assessments against the Lots or from any other source may be commingled into a single fund.
(d) Initial Budget and Initial Assessment.
(1) Upon taking office, the first Board of Directors shall determine the budget, as defined in this section, for the period commencing thirty days after taking office and ending on the last day of the fiscal year in which such directors take office.
- (2) The first installment of the Annual Assessment for Common Expenses shall be prorated based upon the number of days remaining in the payment period and shall be due on the date such Lot becomes subject to full assessment pursuant to Subsections 6.2 (a) (1) and Section 6.3. Any additional amounts due shall be divided by the number of full payment periods (if any) remaining in that fiscal year and paid in equal installments on the first day of each payment period remaining in that fiscal year. Such Assessment shall be levied and become a lien as set forth in Section 12.2.
(3) Notwithstanding the foregoing, the Declarant may, at the Declarant's sole option, decide to pay all ordinary operating costs of the Association for a period of time not to exceed two years. If the Declarant so elects, the Association will incur no Common Expenses and thus no regular Annual Assessments will be collected during such time.
(4) Each initial purchaser of a Single Family Lot other than the Declarant or a Builder shall pay at settlement an "initial capital assessment" equal to Five Hundred Dollars ($500.00) for such purchaser's Lot to provide necessary working capital for the Association, except that the initial purchaser of a Single Family Lot consisting of a condominium unit or cooperative unit located in a multifamily structure shall pay an initial capital assessment of Three Hundred Seventy-Five Dollars ($375.00). In the sole discretion of the Declarant, the amount of the initial capital assessment may be increased each fiscal year by up to the lesser of: (i) ten percent; or (ii) the percentage increase in the CPI. The Declarant or a Builder, however, shall not be required to pay an "initial capital assessment" on the Lots owned by the Declarant or such Builder. Such funds may be used for certain prepaid items, initial equipment, supplies, organizational costs and other start-up costs, as the Board of Directors may determine, as well as ongoing expenses. One Hundred Dollars ($100.00) of the initial capital assessment for each Lot served by a private street shall be deposited in the reserve accounts for the maintenance of the private streets, unless the Declarant or Builder has made such payment into a reserve fund with respect to such Lot. Such funds shall not be used to pay or offset expenses incurred by the Declarant in the development of the Property.
(e) Effect of Failure to Prepare or Adopt Budget. For the first fiscal year of the Association following the first conveyance of any Lot to an Owner other than the Declarant or a Builder, and for all fiscal years thereafter, the Board of Directors shall establish the Annual Assessment against each Lot for Common Expenses. The failure or delay of the Board of

Directors to prepare or adopt a budget for any fiscal year shall not constitute a waiver or release in any manner of an Owner's obligation to pay the allocable share of the Common Expenses as herein provided whenever the same shall be determined and, in the absence of any annual budget or adjusted budget, each Owner shall continue to pay Assessments at the rate established for the previous fiscal year until notified of the new payment which is due on the first day of the next payment period which begins more than ten days after such new annual or adjusted budget is adopted and the Owner receives such notice.
(f) Pledge of Revenues. The Board of Directors, by a vote of two-thirds of the total number of directors, shall have the right and power to assign and pledge all revenues to be received by the Association, including but not limited to Annual and Additional Assessments in order to secure the repayment of any sums borrowed by the Association from time to time.: -J'
Section 6.2. Assessments.
(a) Purpose and Rate of Assessment: Payment.
(1) The total amount of the estimated funds required for: (i}the management and Upkeep of the Property; (ii) services to the Lots and Owners; or (iii) to meet obligations of the Association established pursuant to this Declaration or other shared Upkeep agreements shall be assessed annually or levied as an Additional Assessment as further provided below.
(A) Subject to the limitations set forth in paragraph (2) of this Subsection 6.2(a) and the exemptions provided in Section 6.3, the Association shall assess each Single Family Lot or each Combination Lot with a residential component, in an amount equal to: (i) the total amount budgeted for general Common Expenses (not including Limited Common Expenses), less the amounts collected from Commercial Lots or Multifamily Lots or others which are assessed pursuant to other provisions; (ii) divided by the total number of Assessment Units assigned to all such Single Family Lots (and Combination Lots, if applicable); and (iii) multiplied by the total number of Assessment Units allocated to the Lot to be assessed.
Assessment Units shall be assigned as follows:
(i) One (1) Assessment Unit shall be assigned to each Single Family Lot, except for Single Family Lots consisting of a condominium or cooperative unit located in a multifamily style structure, in which case 314th ( or 75) of an Assessment Unit shall be assigned to such Lot.
(ii) Combination Lots shall be assigned Assessment Units and assessed as provided by the Declarant in the applicable Supplementary Declaration.
(B) Commercial Lots and Multifamily Lots shall be assessed only in accordance with the applicable Supplementary Declaration.

(C) The Association shall not assess a Civic Lot for so long as such Lot is used and occupied for a public purpose and owned by a governmental or nonprofit entity. If a nonprofit day care facility is located in a church or other primarily Civic Lot, then it shall be treated as part of the Civic Lot.
(2)
Limited Common Expense Assessment. Subject to the exemptions set forth in Section 6.3, Limited Common Expenses shall be assessed only against the Lots benefited in proportion to their relative Common Expense liability inter se or based on usage, as appropriate. Such Limited Common Expenses may be determined as follows:
(i) . Any expenses incurred by the Association for Upkeep of or reserves for the Upkeep of Limited Common Area assigned exclusively to specific Lots may be -:1 assessed only against the Lots to which such Limited Common Area is appurtenant.
(ii) Any expenses incurred by the Association for trash pick-up, parking lot or open space maintenance or similar services, if the Board of Directors determines that the cost of such Upkeep or service varies significantly between housing types, Lot types or geographical location may be billed specifically against the Lots so served.
(iii) Any expenses designated in.a Supplementary Declaration as Limited Common Expenses shall be paid by the Owners of Lots subject to such Supplementary Declaration.
(iv) Any services or utilities to Lots which the Board of Directors determines vary significantly based on usage may be assessed against the Lots served based on usage.
(v) The cost of any Upkeep required for private storm drainage easements serving a limited number of specific Lots may be assessed as a Limited Common Expense against the Lots so served.
(vi) Any expenses for the Recreational Facilities which the Board of Directors determines to be primarily for the Upkeep and operation of such facilities may be assessed as a Limited Common Expense as further described in paragraph (3) below.
(vii) Any costs of providing Community Services .shall be assessed only against the Single Family Lots and other any other Lots for which the Owner has requested such services as provided in Subsection 7.8(b).
(viii) Any expenses proposed by the Board of Directors or a specific group of Owners as Limited Common Expenses against a specific group of Lots and agreed to by members entitled to cast a majority of the total number of votes with respect to such Lots, may be assessed against such Lots as such Owners may agree or on the basis set forth in Subsection 6.2(a)(l) inter se.

(ix) Any expenses incurred by the Association for Upkeep of or reserves for the Upkeep of private streets and common driveways, alleys or pipestems, whether located on Common Area or available by easement, may be assessed as a Limited Common Expense against Single Family Lots served by a private street, common driveway, alley or pipestem. The Association may establish a single fund and a single Limited Common Expense Assessment to provide for the Upkeep and reserves for all such private streets and common driveways, alleys or pipestems and is not required to maintain separate accounts.
(3)
Recreational Facilities Expenses. The Board of Directors shall assess each Single Family Lot ( except for a Single Family Lot consisting of a condominium unit) which is subject to assessment pursuant to Subsection 6.2(a)(l) for Recreational Facilities Expenses as a Limited Common Expense in an amount to be determined by the Board of__ -I Directors. The Board of Directors shall assess a Multifamily Lot or a Single Family Lot consisting of a condominium unit for Recreational Facilities Expenses only if the applicable Supplementary Declaration or states that the occupants of such Lot are entitled to use the Recreational Facilities and that the Lot is subject to assessment for Recreational Facilities Expenses or the Owner of the Multifamily Lot or the Single Family Lot consisting of a condominium unit requests membership in the Recreational Facilities. A Multifamily Lot or a Single Family Lot consisting of a condominium unit shall pay the same amount per dwelling for Recreational Facilities Expenses as a Single Family Residential Lot unless provided otherwise in the applicable Supplementary Declaration. The Board of Directors (in its sole discretion) may also establish a two-level Recreational Facilities Assessment. The first level would be assessed against all Lots subject to assessment for Recreational Facilities Expenses, the second level to be paid only by those Owners electing to use the Recreational Facilities. If membership in the Recreational Facilities is provided for in the applicable Supplementary Declaration or a separate Commercial Declaration or Multifamily Declaration or such membership is requested by the Owner of a Commercial Lot or a Civic Lot, the Board of Directors shall provide such membership as provided in the applicable Supplementary Declaration or Commercial Declaration or Multifamily Declaration. If no such provision is made in the applicable Supplementary Declaration, Commercial Declaration or Multifamily Declaration, then the Board may determine to provide membership at an assessment level to be determined by the Board of Directors to be fair based on usage.
(b) Additional Assessments. The Association may levy Additional Assessments on the Lots subject to assessment pursuant to Subsection 6.2(a)(l). The Board of Directors shall give notice of any Additional Assessment to the Owners specifying the amount and reasons therefor, and such Assessment shall, unless otherwise specified in the notice, be payable in full with the next periodic installment which is due more than ten days after the date of such notice or in not more than six equal periodic installments, as the Board may determine. Such Assessment shall be a lien as set forth in Section 12.2.
(c) Individual Assessments. The Association shall have the power to assess an Owner's Lot individually: (i) for the amount of any costs incurred by the Association pursuant to Section 7.2(a) in performing Upkeep that the Owner failed to perform as required by that section; (ii) for the amount of any charges imposed on that Owner pursuant to Section

12.1 (h); (iii) for any costs incurred by the Association because of any violation or negligence for which that Owner is responsible under Section 12.l{a); (iv) charges due for services provided under contract with the Association; and (v) fees charged for individual use of the Common Area. Each such Assessment shall be due ten days after notice thereof is given to the Owner unless the notice specifies a later date.
(d) Optional Expenses. Upon request, the Association may provide certain services to Owners (including the Declarant) on a contractual basis pursuant to Section 7.8; provided, however, that the charge for such services shall be assessed against such Owner's Lots in accordance with the terms of the contract.
(e) • INTENTIONALLY OMITTED.
(f) Reserves. The Board of Directors shall build up and maintain reasonable reserves for working capital, operations (including losses due to insurance deductibles), contingencies and replacements. Such funds shall be a Common Expense of the Association and shall be deposited and invested as directed by the Board of Directors. At least seventy-five percent of such reserve funds shall be deposited in one or more financial institutions the accounts of which are insured by an agency of the United States of America or, in the discretion of the Board of Directors, be invested in obligations of, or fully guaranteed as to principal by, the United States of America. Reserves for items serving only certain Lots shall be accounted for and funded solely by the Owners of the Lots served (as a Limited Common Expense). As to
each separate reserve account:
(1) . Ex__traordinary expenditures not originally included in the annual budget, which may become necessary during the year, shall be charged first against the appropriatereserves. Except for expenses for normal Upkeep shown in the annual operating budget, all expenses for repair and replacement_ofpllysical assets maintained by the Association shall be charged first against the appropriate reserves. Unless otherwise determined by the Board of Directors, the amount held as reserves shall not substantially exceed the amount reasonably required to assure the Association's ability to replace components as they reach the end of their useful lives.
(2) If regular annual Upkeep extends the useful life of components so that reserves are excessive, the reserves shall be adjusted by reallocation to other budget items or by distribution to each Owner (including the Declarant) in proportion to the percentage (if any) of Assessments paid by such Owner.
(3) If the reserves are inadequate to meet actual expenditures for any reason (including non-payment of any Owner's Assessment) then the Board of Directors shall, in accordance with Subsection 6.2(b ), levy an Additional Assessment against the Lots, unless the Declarant is then obligated to pay such amounts pursuant to Subsection 6.3(b ).

(g) Sm:plus and Deficit.
(1) Any amount accumulated in excess of the amount required for actual expenses and reserves shall, at the discretion of the Board of Directors: (i) be placed in reserve accounts; (ii) be placed in a special account to be expended solely for the general welfare of the Owners; (iii) be credited to the next periodic installments due from Owners under the current fiscal year's budget, until exhausted, or (iv) be distributed to each Owner (including the Declarant) in proportion to the percentage (if any) of Assessments paid by such Owner.
(2) Unless the surplus from the preceding years is applied against the deficit or the budget for the succeeding fiscal year is adjusted to amortize the deficit, any net shortage in expenses•(including reserves) shall be assessed promptly against the Owners as an· --:: Additional Assessment in accordance with Subsection 6.2(b ), unless the Declarant is then obligated to pay such amounts pursuant to Subsection 6.3(b ).
(h) Lots Added During the Fiscal Year: Improvements Completed During Fiscal Year. (1) Lots Notwithstanding any other provision of this Article, whenever any Additional Land is added, the Assessment against each Lot being added ( other than unoccupied Lots which are owned by the Declarant or a Builder and exempt from Assessment in accordance with Section 6.3) shall be calculated in the same manner and be due in the same number of installments as the assessment for the remainder of the fiscal year against Lots already a part of the Property. In addition, the Owner of the Lot being added shall pay a prorated portion of any amount payable for the period between the date the Lot becomes subject to assessment pursuant to Section 6.2(a)(l) and the due date of the next installment. Such proration of the Assessment due for any Lot added shall be based upon the total Assessment due and a 365-day fiscal year. Payment of the prorated portion will be due no later than the due date of the first installment to be paid by the Owner of any Lot added. The Board of Directors may revise the budget to reflect the addition of such Lots.
(2) Improvements. For Commercial Lots upon which an improvement is completed during the fiscal year, such Lot shall continue to pay the installment of the Annual Assessment as previously calculated through the end of the installment period during which the certificate of occupancy is issued or the improvement is initially occupied (whichever occurs first). From and after the first day of the next installment period, such Lot shall pay an Annual Assessment based upon the completed improvement.
Section 6.3. Assessment Against Lots Owned by the Builders; Deficit-funding
Obligation: Exemptions. The following paragraphs provide for the collection of Assessments with respect to Single Family Lots owned by Builders.
(a) Builder Assessments. A Builder Assessment is the Assessment that may be levied against Lots owned by Builders (or the Declarant if the Declarant is constructing residential dwellings) that have never been occupied. The applicable Builder Assessment varies based on which portion of the Property the Lot owned by such Builder is located as further described in Exhibit C.

(1) PHASE ONE LOTS. Assessments against unoccupied Lots located in Phase One and owned by Builders, as such Lots may be created from time to time out of the Phase One land approximately in the location shown on Exhibit C hereto, shall be as follows:
Two Hundred Dollars ($200.00) with respect to each recorded Single Family Lot, except for a Single Family Lot consisting of a condominium unit or a cooperative unit located in a multifamily structure, in which case the amount shall be One Hundred Fifty Dollars ($150.00) per planned dwelling unit with respect to such Lot. Thereafter, a Builder shall pay a reduced Assessment of twenty-five percent of the amount that would be assessed for Common Expenses or Limited Common Expenses for such type of Lot if such Lot is still unoccupied and owned by the a Builder, as applicable. • •-I
(2) LOTS NOT LOCATED IN PHASE ONE. Assessments against unoccupied Lots not located in Phase One and owned by Builders shall be as follows:
Five Hundred Dollars ($500.00) with respect to each recorded Single Family Lot, except for a Single Family Lot consisting of a condominium unit or a cooperative unit located in a multifamily structure, in which case the amount shall be Three Hundred Seventy-five Dollars ($375.00) per planned dwelling unit with respect to such Lot. Unoccupied Lots owned by the Declarant or a Builder and not located in Phase One, shall have no on going Annual or Additional Assessment liability until such time as the Lot is initially occupied as further described below.
(3) INITIAL OCCUPANCY. Unoccupied Lots owned by the Declarant or a Builder shall not be subject to full Assessment until the earlier of: (i) conveyance to an Owner other than the Declarant or a Builder; or (ii) initial occupancy.
(4) COLLECTION OF BIBLDER ASSESSMENT. The above one-time Assessment shall be due upon the date of conveyance of the Lot by the Declarant to the Builder. At the sole discretion of the Declarant, the above amounts may be increased each fiscal year after the first fiscal year by up to the lesser of: (i) ten percent; or (ii) the percentage increase in the CPI.
(b) Declarant's Deficit-funding Obligation. For so long as the Declarant or a Builder is exempt from full Assessment for an unoccupied Lot, the Declarant or Builder, as applicable, must provide all necessary Upkeep for such Lot. In addition, during the Declarant Control Period, the Declarant must fund all operating budget deficits (the amount by which the operating expenses of the Association exceed the total budgeted income of the Association), including reasonable reserves (based on expected useful life of the Common Area improvements), as determined by the Board of Directors. The Declarant's deficit funding obligation hereunder may be satisfied with in-kind payments of services or materials. The Declarant's obligation under this section does not include any expenses that the Association is unable to meet because of nonpayment of any Owner's Assessment or because of unusual or extraordinary expenses not included in the budget. The net deficit to be paid by the Declarant shall be cumulative over the

period the Declarant or a Builder owns Lots exempt from full Assessment, regardless of the timing of payments or cash flow of the Association. The Declarant's obligation under this section shall not exceed the amount the Declarant would have been obligated to pay if all Lots owned by the Declarant were assessed in accordance with Subsection 6.2(a) less any Assessments actually paid pursuant to Section 6.3(a) with respect to such Lots. The obligations of the Declarant under this section shall be a lien against the portion of the Property owned by the Declarant.
(c) Exemptions.
(1) Common Area and Public Properties. The Common Area, common area owned by a Sub-association or the common elements of a condominium or cooperativ_e, any -"I properties dedicated to a public authority or exempt from taxation by a public authority and Civic Lots shall be exempt from Assessment and the lien created hereby.
(2) Undeveloped Lots. Notwithstanding any other provision of this Declaration, Lots owned by the Declarant or a Builder, which have never been occupied shall be exempt from full Assessment for Common Expenses, as applicable, which will be collected and paid in full in accordance with Subsection 6.2(e).) and the lien created hereby for so long as the Builder Assessment levied pursuant to Subsection 6.3(a), if any, is paid.
(3) Commercial and Multifamily Lots. Commercial and Multifamily Lots or Additional Land developed for non-residential or mulfr-family residential purposes shall be assessed only in accordance with the provisions of the applicable Supplementary Declaration or Commercial Declaration or Multifamily Declaration.
Section 6.4. Liability for Common Expenses.
(a) Owner Liability. Each Owner of a Lot by acceptance of a deed therefor, whether or not so expressed in any such deed or other conveyance, shall be deemed to covenant and agree, to pay to the Association all Common Expenses, including Limited Common Expenses, and other charges assessed by the Board of Directors pursuant to the provisions of this Declaration. Each Owner shall be personally liable for all Assessments against such Owner's Lot. No Owner may be exempted from liability for the Assessment for Common Expenses by reason of waiver of the use or enjoyment of any of the Common Area or by abandonment of the Lot. No Owner shall be liable for the payment of any part of the Common Expenses assessed against the Lot subsequent to the date of recordation of a conveyance by such Owner in fee of such Lot. Prior to or at the time of any such conveyance, all liens, unpaid charges and Assessments shall be paid in full and discharged. The purchaser of a Lot shall be jointly and severally liable with the selling Owner for all unpaid Assessments against the latter for: (i) the amount shown on the Statement of Common Expenses; (ii) if no Statement of Common Expenses is obtained, the amount shown on the assessment or judgment lien against the Lot filed in the Land Records; or (iii) if no Statement of the Common Expenses is obtained and no assessment or judgment lien has been filed, the amount owed not to exceed six monthly installments of the Annual Assessment for Common Expenses, including Limited Common

Expenses, in any case without prejudice to the purchaser's right to recover from the selling Owner amounts paid by the purchaser therefor. The Lot also shall remain subject to a lien for the amount owed to the Association in accordance with this section until such amount has been paid. Any such purchaser may rely on a Statement of Common Expenses obtained pursuant to Section 6.6.
(b) Mortgagee Liability. Each holder of a Mortgage who comes into possession of a Lot by virtue of foreclosure or by deed or assignment in lieu of foreclosure, or any purchaser at a foreclosure sale, shall take the Lot free of any claims for unpaid Assessments or charges against such Lot which accrue prior to the time such Mortgagee or purchaser comes into possession thereof, except as provided below and for claims for a pro rata share of such Assessments or charges resulting from a pro rata reallocation of such Assessments or charges· to --:r all Lots including the mortgaged Lot assessed after the Mortgagee or purchaser takes possession. The lien created by Section 12.2 shall cease to exist with respect to Assessments and charges levied prior to the time title is transferred by foreclosure or by deed or assignment in lieu thereof; provided, however, that if the proceeds of a foreclosure exceed the total amount due to the holder of the Mortgage, the excess shall first be paid to the Association and applied to the satisfaction of the Association's lien created by Section 12.2.
Section 6.5. Collection of Assessments. Any Assessment, or installment thereof, not paid within ten days after the due date shall be delinquent and shall accrue a late charge in the amount of one-half of one percent of such Assessment for Commercial or Multifamily Lots or Twenty-five Dollars for each Single Family Lot, or such other amount as may be established from time to time by the Board of Directors. The Board of Directors, or the managing agent at the request of the Board, shall take prompt action to collect any Assessments for Common Expenses due from any Owner that remain unpaid for more than thirty days after the due date for payment thereof. The late charge is in addition to the Association's other enforcement powers pursuant to Article 12.
Section 6.6. Statement of Common Expenses. The Board of Directors or managing agent shall provide any member, Owner, contract purchaser or holder of a Mortgage, within fourteen days after a written request therefor (or within such other time period as may be required by law), with a written statement of all unpaid Assessments for Common Expenses due with respect to a specific Lot (or a statement that the amount of unpaid Assessments is zero) ("Statement of Common Expenses") as part of the "Association Disclosure Packet" substantially in the form attached as Exhibit A to the Bylaws or otherwise. No contract purchaser, holder of a Mortgage or purchaser from the holder of a Mortgage requesting such a statement shall be liable for, nor shall the Lot conveyed to such Person relying on such statement be subject to a lien for, any unpaid Assessments due prior to the date of such statement in excess of the amount set forth on such statement; provided, however, that this section shall not be interpreted to release any Person from personal liability for such Assessments levied while such Person owned the Lot. The Board of Directors may impose a reasonable charge for the preparation of such statement to cover the cost of preparation.

Section 6.7. Assessment from Lots Subject to Subassociations. With respect to any Annual or Additional Assessments provided for herein which are payable by Owners of Lots which are also members of a Subassociation, the Board of Directors may elect by resolution to collect Assessments directly from the Subassociation. In such event, payment of such Assessments shall be an obligation of such Subassociation, but each Owner shall remain personally liable for the Assessment against such Owner's Lot and each such Lot shall remain subject to a lien for Assessments. If the Board elects to collect Assessments from such Subassociation, then all notices regarding Assessments against such Lots shall be sent to such Subassociation, but notices of any intention to lien an Owner's Lot shall also be sent to the Owner of the Lot. This section shall not limit or waive any of the Association's remedies for nonpayment of Assessments. Any Owner of a Lot subject to the jurisdiction of a Subassociation which did not pay the Assessment levied against such Subassociation hereunder, shall hav:e the -I right to pay the portion of such Assessment attributable to such Lot directly to the Association, and such Lot shall not be subject to further Assessment or lien by Association or the Subassociation with respect to such Assessment.
ARTICLE7
OPERATION OF THE PROPERTY
Section 7.1. Upkeep by the Association. (a) General. The Association shall be responsible for the management and Upkeep of all of the Common Area and Common Easement Areas, including Recreational Facilities, Limited Common Area and Reserved Common Area, such Upkeep to include without limitation: (i) Upkeep of all open space areas, including grass cutting, trash collection, landscaping and lawn maintenance; (ii) Upkeep of the Private Streets and Roadways, entrance features, berms, fences, sound walls, save areas, dams, street lights, sidewalks, Trails and parking areas, including snow and ice removal and repair and replacement; (iii) Upkeep and operation of all Recreational Facilities located on the Common Area, if any; and (iv) Upkeep of all other improvements located on the Common Area. The cost of the management and Upkeep of the Common Area shall be charged to the Owners as a Common Expense or Limited Common Expense, depending on the nature of the service provided. Notwithstanding the foregoing, Upkeep of lead sidewalks, driveway aprons and utility laterals shall be provided by the Owner of the Lot served or, if so determined by the Board of Directors, by the Association at such Owner's expense. The Association shall not have any other responsibility for the Upkeep of any Lot except for those responsibilities and duti<~s specifically enumerated within the Association Documents for Common Easement Areas, areas designated pursuant to Subsection 7.l(f) or other areas described in the subdivision documents for the Property or separate easement agreements. Notwithstanding the general provisions for Upkeep of Common Area set forth in this section, other specific Upkeep responsibilities and allocations of Upkeep costs shall be determined by any provisions therefor indicated in a Supplementary Declaration, subjecting such Common Area to the Declaration. If the Board of Directors determines that certain Upkeep was necessitated by the negligence, misuse or misconduct of an Owner or for which an Owner is responsible pursuant to Section 12.1, the cost of such Upkeep shall be assessed against such Owner's Lot pursuant to Subsections 6.2(c) and 12.l(a). Further, the Board may determine that all or a part of the Upkeep of any portion of the Common Area

designated as Reserved Common Area shall be performed by the Person having the exclusive right to use the same. The Board of Directors shall establish the standard for Upkeep of the Common Area and Common Easement Areas in its sole discretion.
(b)
Storm Water Management. The Upkeep of the storm drainage and storm water management facilities and easements on the Property shall be performed by the Association and shall be a Common Expense: provided, however, that the Upkeep obligations identified in this subsection shall cease and terminate at such time as the County, through a department of public works or some similar agency by some clear and unequivocal act such as the recordation of a document among the Land Records, elects to maintain the storm drainage and storm water management facilities contained within the easements, or elects to maintain all such easements within the watershed where the easement is located. If responsibility for the • • ·J' storm drainage and storm water management facilities is assumed by the County, the Association may, but is not obligated to provide additional Upkeep to the extent not provided by the County. The Owner of any Lot on which there is located an easement for storm water drainage, management or control shall be responsible for the following items of maintenance, where applicable, grass mowing with reasonable frequency and the removal of debris and other matter to the best of Owner's ability where such debris or matter has impeded or threatens to impede the free flow of storm water through drainage structures. Such Owner's responsibility shall include notification of the Association of: (i) any defects in any fencing, if any, surrounding or within the easement; (ii) any debris or other matter which is beyond such Owner's ability to remove; and (iii) any excessive erosion within the area of the easement. The Declarant and the Association shall have easements pursuant to Sections 3 .1, 3 .2 and 3 .3 to enter upon any Lot to the extent necessary for Upkeep of such facilities. Notwithstanding the foregoing, certain storm water drainage easements will be private storm water drainage easements serving one or more specific Lots. In such cases, although the Association may maintain such easements, the cost of such Upkeep shall be a Limited Common Expense assessed against the Lots served by such easements.
(c)
Entrance Features, Signs and Rights-of-Way. The Board of Directors may determine to provide for Upkeep of the center islands and road frontage (including public rightsof-way, but excluding pavement areas) of all public roads within, adjacent to or leading to the Property, such Upkeep to include without limitation: (i) entrance features; (ii) sidewalks, Trails and paths; (iii) project, street, traffic and directional signage and accessories, including poles; (iv) bus shelters; (v) pedestrian underpasses or overpasses; (vi) streetlights and accessories, including poles; (vii) mail box pavilions; (viii) landscaping and associated lighting and irrigation systems; and (ix) berms, fences, sound walls, save areas, or dams established in association with the construction of, and located in, dedicated public rights-of-way, and all other improvements related thereto to the extent not maintained by the appropriate governmental authorities and to the extent permitted by the appropriate governmental authorities). The Association shall maintain the items listed above located within the Property or within the public rights-of-way adjacent to or leading to the Property to the extent required and permitted and not maintained by the appropriate governmental authorities.

(d) Other Services. To the extent determined to be reasonably necessary or desirable by the Board of Directors, the Association may provide trash collection, recycling programs, water, electricity, gas, or other utilities, cable television, telecommunications, or broadband services, transportation or similar services to the Owners as a Common Expense or a Limited Common Expense, as appropriate. The Association must provide trash collection, recycling services and such other services to the extent required by the Proffers.
(e) Shared Maintenance. The Board of Directors may enter into shared maintenance agreements to maintain areas whether or not located within the Property to the extent such areas benefit any portion of the Property. Such areas may include without limitation storm water management or drainage easements and facilities, landscaping, entrance features, signage, trails, private streets, sidewalks and areas along streets and roadways (including within -;r public rights-of-way to the extent not maintained by the appropriate governmental authorities, excluding street pavement areas). The amounts charged the Association pursuant to such . agreements shall be a Common Expense, or a Limited Common Expense, as determined by the Board of Directors.
(f) Association Lot Upkeep. Notwithstanding the provisions of Section 7.2(a), the Board of Directors shall provide for such levels of Upkeep of a defined group or category of Lots as may be provided in a Supplementary Declaration for such Lots: provided, however, that the cost of such Upkeep shall be paid as a Limited Common Expense by the Owners of such group or category of Lots.
(g) Private Streets and Roadways. Neither Loudoun County nor the Virginia Department of Transportation shall be responsible for the Upkeep of the Private Streets and Roadways. The State and the County shall not be responsible for the construction or maintenance of the private streets whether or not such streets serve the Property as a whole or individual Lots as ingress-egress easements.
Section 7 .2. Upkeep by the Owners.
(a) Individual Upkeep. (1) Lots. Each Owner shall keep such Owner's Lot and all improvements located on the Lot in good order, condition and repair and in a clean and sanitary condition, including without limitation all necessary grounds maintenance and snow removal, in accordance with local ordinances, except within the easement areas maintained by the Association and except as may be otherwise provided in this Declaration or in a Supplementary Declaration. Each Owner shall maintain the lead sidewalk, driveway, driveway apron and utility laterals serving each Owner's Lot, even if located on Common Area. Each Owner shall also provide snow removal for any sidewalks located adjacent to such Owner's Lot. Each Owner shall perform these responsibilities in such manner as shall not unreasonably disturb or interfere with the reasonable enjoyment by the other Owners of their Lots. If any Owner shall fail to keep such Owner's Lot in as good repair and in a neat and orderly condition, consistent with such Rules and Regulations as the Board of Directors may promulgate, then the Board or appropriate Covenants Committee may, pursuant to resolution, give notice to that Owner of the condition complained of, describing generally the action to be taken to rectify that condition. If

the Owner fails to take the actions described or to otherwise rectify the condition within thirty days after the date the notice is given, or such other period as may be specified in the notice if the circumstances warrant a different period, the Board of Directors or appropriate Covenants Committee shall have the right, but not the obligation, pursuant to Section 3 .3 and Subsection 12.1(e) and any resolutions adopted by the Board of Directors, to rectify that condition by taking such action (or by causing such action to be taken) as was generally described in the notice. The costs incurred in rectifying the condition shall be assessed against such Owner's Lot in accordance with Subsection 6.2( c) and Section 12.1. The Owner shall reimburse the Association within thirty days after delivery of a statement for such expenses.
(2) Assignment oflnsurance Proceeds. Each Owner covenants and agrees, by acquisition of title to a Lot, that if any insurance proceeds are payable by reason of· --:r any event or circumstances causing a condition rectified by the Association pursuant to this Article, those proceeds are hereby assigned to the Association to the extent not assigned to the Mortgagee in the Mortgage. Each Owner shall, promptly upon request of any Director or Officer of the Association, execute such documents as may be necessary to effect or confirm such assignment. The amount thereof received by the Association shall be credited against the costs incurred by the Association in rectifying that condition and any amount in excess of those costs shall be returned by the Association to the Owner, subject to the rights of any Mortgagee having a lien upon such Owner's Lot.
(3) Sidewalks. If the public right-of-way adjacent to any Lot is improved by a concrete sidewalk or similar structure, the Owner of such Lot must provide the Upkeep for the sidewalk adjacent to such Owner's Lot (including snow removal) to the extent not provided by the appropriate governmental authority or the Association. If the Association provides this service, the cost will be a Common Expense or Limited Common Expense, as may be determined by the Board of Directors. The Association shall cure any Owner's default in performing such Upkeep (after notice and opportunity to cure) at the sole expense of the defaulting Owner.
(4) Streetlights. If a carriage light or other type of lighting designed to operate automatically from dusk to dawn and to provide for street lighting is connected to the •dwelling located on an Owner's Lot, such Owner shall be responsible for the daily operation and ongoing Upkeep of such light. If the Owner fails to keep such light operating, then the Association may do so at the Owner's sole expense, pursuant to Sections 3 .3, 6.2( c) and 12.1. The Board of Directors may also determine to maintain all streetlights located on Lots as a Common Expense or as a Limited Common Expense of the Lots served.
(b) Upkeep of Multifamily Lots and Commercial Lots. Questions involving Upkeep of the Multifamily Lots and the Commercial Lots will be resolved by the Commercial Review Committee in accordance with the provisions of the applicable Supplementary Declaration. If a portion of the Additional Land is developed for non-residential or multifamily residential purposes and subjected to a separate Commercial Declaration or Multifamily Declaration, then the provisions of such separate Commercial Declaration or Multifamily

Declaration control. With respect to the Golf Course, the applicable Supplementary Declaration or Commercial Declaration shall control with respect to issues of Lot maintenance.
( c) Common Area in Subassociations. Any Sub association owning or maintaining land located within the Property shall keep the common area of the planned community or office park or the common elements of the condominium or cooperative, as applicable, in good order, condition and repair and in a clean and sanitary condition (in keeping with the general character of the Property) including without limitation all necessary grounds Upkeep. The Subassociation may contract with third parties, including the Association, to provide the necessary Upkeep and management services to perform its responsibilities under this section. If such Subassociation shall fail to keep the portion of the Property for which such Subassociation has Upkeep responsibility in as good repair and condition as when acquired •• • -~ (normal wear and tear excepted) and in a neat and orderly condition, consistent with such Rules and Regulations as the Board of Directors may promulgate, then the Board may, pursuant to resolution, give notice to that Subassociation of the condition complained of, specifying generally the action to be taken to rectify the condition. If the Subassociation fails to take the action specified by the Board or to otherwise rectify that condition within thirty days after the date the notice is given, or such other period as may be specified in the notice if the circumstances warrant a different period, the Board of Directors shall have the right pursuant to Section 3.3 and Section 12.l(e) and any resolutions adopted by the Board of Directors, to rectify the condition by taking such action (or by causing such action to be taken) as was specified in the notice. The costs incurred shall be charged against such Subassociation.
Section 7.3. Manner of Repair and Replacement. All repairs and replacements by the Association or the Owners shall be substantially similar to the original construction and installation and shall be of first-class quality, but may be made with contemporary materials. The method of approving payment vouchers for all repairs and replacements made by the Association shall be determined by the Board of Directors.
Section 7.4. Additions, Alterations or Improvements by the Board of Directors.
(a) Action of the Board. Whenever in the judgment of the Board of Directors the Common Area shall require capital additions, alterations or improvements ( other than for Upkeep) costing in excess of twenty percent in the aggregate of the total Annual Assessment for Common Expenses for that fiscal year during any period of twelve consecutive months, the making of such additions, alterations or improvements requires a vote of the members in accordance with Section 15.4, and the Board of Directors shall pay the cost from existing funds or assess all Owners benefited for the cost thereof as a Common Expense or Limited Common Expense, depending on the nature of the improvement. Any capital additions, alterations or improvements (other than for Upkeep) costing in the aggregate twenty percent or less of the total Annual Assessment for Common Expenses for that fiscal year during any period of twelve consecutive months may be made by the Board of Directors without approval of the members and the cost thereof shall constitute a Common Expense or a Limited Common Expense, depending on the nature of the improvements.

(b) Permits. Each Owner shall cooperate with the Association in obtaining any governmental approvals or permits as may be necessary for the Association to alter, improve, reconstruct or repair all or any portion of the Common Area or Common Easement Areas which may be located adjacent to or on such Owner's Lot, either as approved above or as required for Upkeep. If requested by the Board of Directors, each Owner shall name or appoint the Association as agent for such Owner to apply for and secure such approvals or permits with respect to such Common Area or Common Easement Areas in the Association's name.
(c) Liens. Within thirty days after the filing thereof, each Owner shall, either by payment of bond or otherwise, cause any mechanic's, materialmen's or other lien affecting any portion of the Common Easement Areas located within such Owner's Lot and arising by reason of any work or materials ordered by the Owner or any action taken by the Owner to be .. • -:r discharged of record. To the extent the Association performs work on a Lot, the Association shall indemnify the Owner of such Lot against all materialmen's or mechanic's liens resulting from such work.
Section 7.5. Additions, Alterations or Improvements by the Owners. Any addition, alteration or improvement by an Owner shall be subject to the provisions of Article 9.
Section 7.6. Parking and Private Street Access Transportation Services.
(a) Right to Use Parking Areas and Private Streets. Each of the parking spaces located on the Common Area (other than as limited by designation as Reserved Common Area or Limited Common Area, if any), shall be available for the use of the Owners: provided, however, that no Owner of a Single Family Lot shall be permitted to park more than two vehicles on the Common Area without the written permission of the Board of Directors; provided, further, that Owners of Single Family Lots which include driveways and garages shall park in the driveway and garage located on their Lot before using the Common Area parking spaces. In this Section 7.7, "Owners" means the Owners and such Owners' tenants and such Owners' (or tenants') households,. companies, guests, employees, agents or invitees. Such use shall be subject to such reasonable Rules and Regulations regulating the same as the Board of Directors may adopt. The Association will not unreasonably interfere with the right of any Owner, or such Owner's tenant or such Owner's (or tenant's) household, companies, guests, customers, employees, agents or invitees to use the Private Streets and Roadways located on the Common Area for both vehicular and pedestrian ingress and egress to and from such Owner's Lot. Unless otherwise specifically designated in this Declaration or any other agreement, the parking areas and driveways on each Owner's Lot are to be used and maintained solely by such Owner and such Owner's designees.
(b) Transportation Systems Management Plan. If required by the County, the Association shall adopt and administer a phased transportation systems management plan as required by the Proffers. The Board of Directors may perform such acts as are reasonably necessary in the Board's discretion to administer or facilitate such plan and any other transportation management requirements imposed by the County or as may be otherwise determined by the Board of Directors to be desirable to enhance the flow of traffic through the

Property, including without limitation hiring additional staff, appointing special committees, acquiring vans for vanpooling, requiring or encouraging flexible working hour schedules from all Owners of Commercial Lots, regulating parking on Lots, building and maintaining bus stop shelters and entering into agreements with other owners associations, governmental agencies or similar entities. The cost of such administration and the cost of any performance by the Association under the transportation management plan shall be a Common Expense or a Limited Common Expense, as may be determined by the Board of Directors.
Section
7.
7. Disclaimer of Liability.
(a) Bailee. The Board of Directors, the Association, any member, any Owner and the Declarant shall not be considered a bailee of any personal property stored or placed on· -:r the Common Area (including property located in vehicles parked on the Common Area), whether or not exclusive possession of the particular area is given to an Owner for parking or otherwise, and shall not be responsible for the security of such personal property or for any loss or damage thereto, whether or not due to negligence, except to the extent covered by insurance in excess of any applicable deductible.
(b) Operational. The Association shall not be liable for any failure of water supply or utility service Community Systems or other services to be obtained by the Association or paid for as a Common Expense, or for personal injury or property damage caused by the elements or by any Owner, or any other Person, or resulting from electricity, water, snow or ice which may leak or flow from or over any portion of the Property or from any pipe, drain, conduit, appliance or equipment, or any secondary or consequential damages of any type. No diminution, offset or abatement of any Assessments shall be claimed or allowed for inconvenience or discomfort arising from the making of repairs or improvements to the Property by the Association or from any action taken by the Association to comply with any law, ordinance or with the order or directive of any governmental authority. This section is not intended nor shall it be construed to relieve any insurer of its contractual obligations under any policy benefiting the Association, a member or an Owner.
Section 7.8. Services to Owners and Subassociations.
(a) Association Services. The Association may, in the sole discretion of the Board of Directors, provide additional services to Owners (including the Declarant), and to any Subassociation on a contractual basis at the request of such Persons. The charges for such services shall be assessed against the Lot of the Owner or charged to the Subassociation.
Services which may be provided to Subassociation include, without limitation: (i) the Upkeep of any common areas owned by an owners association or the common elements maintained by the condominium unit owners association or cooperative association; (ii) the enforcement of any declaration creating a condominium or cooperative or governing the planned community; (iii) the collection of assessments under the declaration creating a condominium or cooperative or governing a planned community on behalf of and in the name of the

Subassociation; (iv) financial and physical property management services; and (v) obtaining insurance for such Subassociation.
(b) Community Systems. The Declarant or its designee shall have the right, but not the obligation, to install and provide Community Systems and to provide the services available through the Community Systems to any and all Lots within the Property. Community Systems includes, without limitation, water, electrical, solar, gas, cable, television, telecommunication, broadband services or any other communication services, or any similar services or utilities. Neither the Association nor any Owner (except the Declarant) shall have any interest therein, except as specifically provided otherwise in a separate written document. Any or all of such services may be provided either indirectly, through the Association and paid for as a Common Expense or a Limited Common Expense, as appropriate, or directly, by.Jhe • •-1 Declarant, an affiliated entity or a third party and paid for by the recipient of the services. The Community Systems shall be the property of the Declarant (or an affiliated entity) unless transferred by the Declarant (or such affiliated entity), whereupon any proceeds of such transfer shall belong to the Declarant (or such affiliated entity). The Declarant shall have the right, but not the obligation, to convey, transfer, sell or assign all or any portion of the Community Systems, or all or any portion of the rights, duties or obligations with respect thereto to the Association or any other Person (including an Owner, as to any portion of a Community System located on such Owner's Lot). The Declarant's rights with respect to the Community Systems installed by the Declarant and the services provided through such Community Systems are exclusive, and no other Person may provide such services through the Community Systems installed by the Declarant without the prior written consent of the Declarant. However, the provision of the services similar to the services available through the Community Systems installed by the Declarant shall be non-exclusive and the Association may permit any third party to install and provide for similar services in the Association's sole discretion and on such nonexclusive terms and conditions as the Association may determine; provided, however, that such other community systems and services shall not affect or modify the rights of the Declarant, its affiliated entities or its successors and assigns.
(c)
Association Provision of Community Systems.
The Board of Directors shall have the power and authority on behalf of the Association without the joinder or approval of any member, Owner or Mortgagee to enter into agreements with Community Service providers (including the Declarant or an affiliated entity) or to participate in the operation and ownership of Community Services, either directly or indirectly through affiliation or participation in non-profit or for-profit entities. This authority includes the power to: (i) establish and manage Community Systems; (ii) create, own, operate, maintain, repair, update, replace and insure such Community Systems; (iii) select vendors and enter into contracts as necessary to create, construct, manage, operate, maintain and replace such Community Systems; (iv) control access to and manner of use of Community Service. If the Board of Directors determines to provide a Community Service, the costs of such Community Service may be collected as a Limited Common Expense assessed against the Single Family Lots (and Combination Lots that are primarily residential), based on a set fee or a usage fee as determined by the Board of Directors. Owners of other types of Lots shall have the option to purchase, but shall not be required to purchase such Community Services through the Association, unless provided
otherwiseintheapplicableSupplementaryDeclaration.IftheOwnersofLotsotherthanSingle FamilyLots(andCombinationLotsthatareprimarilyresidential)donotchoosetoreceivea CommunityServicethroughtheAssociation,thensuchtheLotownedbysuchOwnershallnot beassessedforCommunityServices.Notwithstandingtheforegoing,neithertheDeclarantnor theAssociationshallbeobligatedtopmvidesuchCommunityServicesandshallnotbeliablefor failuretoprovidesuchservices.
ARTICLES
RESTRICTIONSONUSEOFLOTSANDCOMMON AREA;RULESANDREGULATIONS

Section8.1.PermittedUses.NoLotshallbeusedforpurposesotherthanthepurposes forwhichsuchLotiszonedanddesignedandwhicharepermissibleunderlocalzoning ordinances.
Notwithstandingtheforegoing,nothingintheAssociationDocumentsshallbeconstrued toprohibittheDeclarantoritsdesigneesfromusinganyLotownedbytheDeclarant(orany otherLotwiththepermissionoftheOwnerthereof)oranyportionoftheCommonAreafor promotional,marketing,displayorcustomerservicepurposes(suchasavisitors'center)orfor thesettlementofsalesofLots.Further,theDeclarantspecificallyreservestherighttooperatea constructionofficeorarental,brokerageandmanagementofficeatanytimeonLotsownedor leasedbytheDeclarant(oranyotherLotwiththepermissionoftheOwnerthereof)andonany portionoftheCommonArea,totheextentpermittedbylaw.TheDeclarantmayassignitsrights underthissubsectiontoorsharesuchrightswithoneormoreotherPersons,exclusively, simultaneouslyorconsecutivelywithrespecttotheCommonAreaandLotsownedorleasedby theDeclarantorsuchPersons.
Exceptasotherwisespecificallyprohibitedherein,anyusesallowedunderapplicable LoudounCounty,Virginia,zoningregulationswillbepermitteduponaLot.Suchapproveduses shallbeperformedorcarriedoutentirelywithinabuildingthatissodesignedandconstructed thattheenclosedoperationsandusesdonotcauseorproduceanuisancetootherOwners,such as,butnotlimitedto,vibration,sound,electro-mechanicaldisturbances,electro-magnetic disturbances,radiation,airorwaterpollution,dust,oremissionsofodorous,toxicornon-toxic matter(includingsteam).Certainactivitieswhichcannotbecarriedonwithinabuildingmaybe permitted,providedtheCovenantsCommitteespecificallyconsentstosuchactivityinwriting andfurtherprovidedsuchactivityisscreenedsoasnottobeVisiblefromNeighboringProperty andpublicstreets.AlllightingistobeshieldedasnottobeVisibleFromNeighboringProperty. Thepermittedusesmaybefurtherlimited,expandedorotherwisemodifiedwithrespectto AdditionalLandbytheSupplementaryDeclarationsubmittingsuchAdditionalLand.
Section8.2.
RestrictionsonUse.
(a)NoUnsafeActivitiesorWaste.Nothingshallbedoneorkeptonthe PropertywhichwillincreasetherateofinsurancefortheCommonAreaoranypartthereof

applicable for permitted uses without the prior written consent of the Board of Directors; including without limitation any activities which are unsafe or hazardous with respect to any person or property. No Person shall permit anything to be done or kept on the Property which will result in the cancellation of any insurance on the Common Area or any part thereof or which would be in violation of any law, regulation or administrative ruling. No waste will be committed on the Common Area.
(b) Compliance with Laws. No improper, offensive or unlawful use shall be made of the Property or any part thereof, and all valid laws, zoning ordinances and regulations of all governmental agencies having jurisdiction thereof shall be observed; provided, however, that the Association and the Board of Directors shall have the power but not the obligation to enforce such laws, ordinances and regulations, enforcement being the primary responsibility of ·-I government officials. All laws, orders, rules, regulations or requirements of any governmental agency having jurisdiction thereofrelating to any portion of the Property shall be complied with, by and at the sole expense of the Owner, the Association, the Declarant or any Subassociation whichever shall have the obligation for the Upkeep of such portion of the Property, and, if the Association, then the cost of such compliance shall be a Common Expense or Limited Common Expense, as appropriate.
(c) Harmful Discharges. There shall be no emissions of dust, sweepings, dirt, cinders, odors, gases or other substances into the atmosphere (other than normal residential chimney or grill emissions or as produced by normal restaurant or food preparation activities), no production, storage or discharge of hazardous wastes on the Property or discharges ofliquid, solid wastes or other harmful matter into the ground or any body of water, if such emission, production, storage or discharge may adversely affect the use or intended use of any portion of the Property or may adversely affect the health, safety or comfort of the occupants of the Lots. No waste nor any substance or materials of any kind shall be discharged into any public sewer serving the Property or any part thereof in violation of any regulation of any public body having jurisdiction over such public sewer. No person shall allow the escape or discharge of any fumes, odors, gases, vapors, steam, acids or other substances into the atmosphere which discharge, in the opinion of the Board of Directors, may be detrimental to the health, safety or welfare of the area in which may be harmful to the Property or vegetation. No visible emission of smoke or steam will be permitted (outside any building) which exceed Ringlemann No. 1 on the Ringlemann Chart of the United States Bureau of Mines. This requirement shall also be applied to the disposal of trash and waste materials.
(d) Noise. No Person shall cause any unreasonably loud noise (except for security devices) anywhere on the Property, nor shall any Person permit or engage in any activity, practice or behavior that results in unreasonable annoyance, discomfort or disturbance to any Person lawfully present on any portion of the Property. At no point outside of any Commercial Lot shall the sound of any machine, device, or any combination of same, from any individual plant or operation on or within such Lot, exceed the maximum sound pressure levels allowable under local zoning ordinances for industrial districts.

(e) Obstructions. No Person shall obstruct any of the Common Area or otherwise impede the rightful access of any other Person on any portion of the Property upon which such Person has the right to be. No Person shall place or cause or permit anything to be placed on or in any portion of the Common Area without the approval of the Board of Directors. Nothing shall be altered or constructed in or removed from the Common Area or Common Easement Areas except with the prior written approval of the Board of Directors.
(f) Association Property. The Common Area shall be used only for the furnishing of the services and facilities for which the same is reasonably suited and which are incident to the use and occupancy of the Lots. The improvements located on the Common Area or Common Easement Areas, if any, shall be used only for their intended purposes. Except as otherwise expressly provided in the Association Documents, no Owner shall make any private; ·-7 exclusive or proprietary use of any of the Common Area (except those areas, if any, designated as Limited Common Area or Reserved Common Area) or Common Easement Areas without the prior written approval of the Board of Directors, and then only on a temporary basis. No Person shall engage or direct any employee of the Association on any private business of the Owner or otherwise direct, supervise or in any manner attempt to assert control over such employee during the hours such employee is employed by the Association.
(g) Mining. No Lot shall be used for the purpose of boring, mining, quarrying, exploring for or removing oil or other hydrocarbons, minerals, gravel or earth except with the prior written approval of the Declarant during the Development Period or the Board of Directors thereafter.
(h) Signs and Flags. Except for such signs, flags and banners as may be posted by the Declarfillt or a Builder (as permitted by the Declarant) for promotional or marketing purposes or by the Association, no signs, flags or banners of any character shall be erected, posted or displayed in a location that does not comply with Design Guidelines without the prior written approval of the Covenants Committee. An American Flag and the flag of any one of the United States may only be flown in the size, manner and place permitted by the Covenants Committee. No free-standing flagpoles are permitted, except as may be installed by the Declarant during the Development Period or the Association.
(i) Trash. Trash storage and collection shall be in accordance with the Rules and Regulations. Except in connection with construction activities, no burning of any trash and no accumulation or storage of litter, refuse, bulk materials, building materials or trash of any other kind shall be permitted on any Lot. Trash containers shall not be permitted to remain in a location Visible from the Neighboring Property except on days of trash collection. No incinerator shall be kept or maintained upon any Lot without the prior written approval of the Declarant during the Development Period or the Board of Directors thereafter.
(j) Landscaping; Utility Lines; Temporary Structures. No tree, hedge or other landscape feature shall be planted or maintained in a location which obstructs sight-lines for vehicular traffic on public or private streets. No structure of a temporary character, and no trailer, tent, shack, barn, pen, kennel, run, stable, outdoor clothes line, shed or other temporary

accessory buildings shall be erected, used or maintained on any Lot except in connection with construction activities or with the prior written approval of the appropriate Covenants Committee. Pavement, plantings and other landscape materials shall not be placed or permitted to remain upon any Lot: (i) if such materials may damage or interfere with any easement for the installation or Upkeep of utilities; (ii) in violation of the requirements of such easements; (iii) unless in conformity with public utility standards; or (iv) if such materials may umeasonably change, obstruct or retard direction or flow of any drainage channels. Except for hoses and the like which are reasonably necessary in connection with construction activities or normal landscape Upkeep, no water pipe, sewer pipe, gas pipe, drainage pipe, television or telephone cable, electric line or other similar transmission line shall be installed or maintained upon any Lot above the surface of the ground, except for those existing prior to the recordation of the Declaration or except with the prior written approval of the Declarant during the Developnienr •-7 Period or the Board of Directors thereafter.
(k) Cutting Trees. No live trees with a diameter in excess of four inches, measured twelve inches above ground, nor trees in excess of two inches in diameter, similarly measured, which are generally known as flowering trees (such as dogwood or redbud) or as broad leaf evergreens (such as holly, laurel, or rhododendron), no live vegetation on slopes of greater than twenty percent gradient or marked "no cut" areas on approved site plans may be cut without prior approval of the Covenants Committee. Further, no live trees planted by the Declarant or a Builder to comply with applicable ordinances or other governmental requirements shall be cut without the prior written approval of the Covenants Committee. The Association shall set rules for cutting of trees to allow for selective clearing or cutting.
(1) Antennas. No exterior antenna, satellite dish or similar exterior improvement shall be maintained upon the Property without the prior written approval of the Board of Directors or the Declarant; provided, however, that the Association shall not prevent access to telecommunications services in violation of applicable law. Exterior antennas, satellite dishes greater than one meter (39 inches) in diameter, or amateur radio equipment generally will not be allowed upon the Property; provided, however, that: (i) an Owner may install an antenna permitted by the Association's antenna rules upon prior written notice to the Board of Directors; (ii) the Board of Directors or the Declarant may approve other antennas in the appropriate circumstances; and (iii) the Board of Directors may establish additional or different guidelines for antennas as technology changes. Therefore, equipment that may have been unacceptable with the old technology, may become acceptable as technology changes. In addition, equipment that may have been acceptable under old technology may be prohibited as technology changes. In which case, previously approved and installed equipment may remain, but future requests for outdated equipment could be denied and replacement equipment would have to meet the most current Design Guidelines. Notwithstanding the foregoing, the Board of Directors may install and maintain antennas, satellite dishes and similar equipment on the Common Area to serve the Property.
(m) Fences. Except for any fence installed by the Declarant or a Builder (as permitted by the Declarant) or by the Association, no fence shall be installed except with the written approval of the appropriate Covenants Committee. No chain link fence shall be


permittedonthePropertywithoutthepriorwrittenapprovaloftheBoardofDirectorsorthe Declarant;provided,however,thattheDeclarantoritsdesigneesmayerectachainlinkfencefor thetemporarystorageofbuildingmaterialsfortheprotectionofbuildingsitesorgroundstorm watermanagementpondsorforotherconstructionorsafetypurposes.
(n)Vehicles.Exceptinconnectionwithconstructionactivitiesandas providedbelowwithrespecttoCommercial,Multifamily,CombinationandCivicLots,no commercialvehicles(vehiclesonwhichcommercialletteringorequipmentisvisibleorwhich arelargerthannormallyusedofnoncommercialpurposes)taxicabsortrailers,campers, recreationalvehicles,boatsandotherlargevehicles,includinggroundsmaintenanceequipment, maybeparkedorusedonanyresidentialportionofthePropertyifitisvisible:fromtheCommon AreaoranotherLotoronanypublicright-of-waywithinoradjacenttotheProperty,unless•• -:1 expresslypermittedbytheBoardofDirectorsandonlyinsuchparkingareasorforsuchtime periods(ifany)asmaybedesignatedforsuchpurpose.Exceptasmaybemodifiedbyresolution oftheBoardofDirectors,prohibitedvehicleswouldinclude,withoutlimitation,anyvehicle:(i) withaloadcapacityinexcessofoneton,(ii)oversized(higherthaneightfeet,widerthaneight feetorlongerthaneighteenfeet),(iii)withcommerciallicenseplatesor(iv)withcommercial signage.Parkingofallsuchvehiclesandrelatedequipment,otherthanonatemporaryandnonrecurringbasis,shallbeingaragesorscreenedenclosuresapprovedbytheCovenantsCommittee orinareasdesignatedbytheBoardofDirectors,ifany.TheBoardhasnoobligationto designateanysuchareaorpermitparkingofsuchvehiclesontheresidentialportionsofthe Property;provided,however,thatparkingofareasonablenumberofcommercialvehiclesshall bepermittedonCommercialLots,MultifamilyLotsandCombinationLotssubjecttoreasonable RulesandRegulationsadoptedbytheBoardofDirectors.Nojunkorderelictvehicleorother vehicleonwhichcurrentregistrationplatesandcurrentcountyandstateinspectionpermitsare notdisplayedshallbekeptuponanyportionofthePropertyifitisvisiblefromtheCommon AreaoranotherLot.Vehiclerepairsandstorageofvehiclesarenotpermitted,exceptin accordancewiththeRulesandRegulations;provided,however,thatwashingofvehiclesand noncommercialrepairofvehiclesispermittedonallLotsasprovidedintheRulesand Regulations;provided,furtherthatsuchactivitiesshallbepermittedonCommercialLotsin connectionwithcommercialactivitiesonsuchLot,subjecttoreasonableRulesandRegulations adoptedbytheBoardofDirectors.Allmotorvehicles,includingwithoutlimitationtrailbikes, motorcycles,dunebuggiesandsnowmobiles,shallbedrivenonlyuponpavedstreetsandparking lots.NomotorvehiclesshallbedrivenonTrailsorunpavedportionsofCommonArea,except suchvehiclesauthorizedbytheBoardofDirectorsforUpkeepoftheCommonAreaor authorizedbyaneasementbenefitingtheGolfCourseOwnerondesignatedGolfCartPaths. Thisprohibitionshallnotapplytonormalvehicularuseofdesignatedstreetsandlanes constructedonCommonAreathePrivateStreetsandRoadways.
Subjecttoapplicablelawsandordinances,anyvehicleparkedinviolationoftheseor otherrestrictionscontainedhereinorintheRulesandRegulationsnoworhereafteradoptedmay betowedbytheAssociationatthesoleexpenseoftheOwnerofsuchvehicleifsuchvehicle remainsinviolationforaperiodof24hours:fromthetimeanoticeofviolationispacedonthe vehicle.TheAssociationshallnotbeliabletotheOwnerofsuchvehiclefortrespass,conversion orotherwise,notguiltyofanycriminalact,byreasonofsuchtowingandoncethenoticeis
posted, neither its removal, nor failure ofthe Owner to receive the notice for anyother reason, shall be ground for reliefofany kind. An affidavit ofthe person posting the aforesaid notice stating that it was properlyposted shall be conclusive evidence ofproper posting.
(o) Timesharing. No SingleFamily Lot shall be subjected to or used for any timesharing, cooperative, licensing or other arrangement thatwould entail weekly, monthly or any other type ofrevolving or periodic occupancyby multiple owners, cooperators, licensees or timesharing participants.
(p) Ground Vibration. Buildings and other structures shall be constructed, and machinery andequipment installed, and insulated on each Lot, so that the ground vibration inherently and recurrently generated is not perceptiblewithout instruments at any point e�terior 1 to any Lot.
(q) Animals. Keeping livestock, poultry or other animals on any Commercial Lot except as required for research and development activities or in connection with typical pet shop or pet care operations shall not be permitted, and in no event shall any stable, hutch, barn, coop or other housing or shelter for animalsor for the storage ofmaterials be placed or maintained upon the Lot, except as approved inwriting by the Board ofDirectors. The maintenance, keeping, boarding or raising ofanimals, livestock, poultry orreptiles ofany kind, regardless ofnumber, is prohibited on any Single Family Lot, Civic Lot, Combination Lot or Multifamily Lot or upon the Common Area, except that the keeping ofguide animals and a reasonable number oforderly, traditional domestic pets (e.g., dogs, cats or caged birds) is permitted, and the keepingofanimals for police enforcement and fire and rescueservices is permitted on Civic Lots, subject to the Rules andRegulations adopted by the Board ofDirectors� provided, however, that suchpets are not kept or maintained for commercial purposes or for breeding on a Single Family Lot, Civic Lot, Combination Lot or Multifamily Lot. Notwithstanding the foregoing, the Declarant may provide in a Supplementary Declaration submitting large Lots to the Declaration for the maintenance and use ofhorses within the Property on such large Lots. Any pet causing or creating a nuisance or unreasonable disturbance or noise shall be permanently removed from theProperty upon ten days written notice from the Board ofDirectors. Pets shall not be permitted upon the Common Area unless accompanied by someone who can control the pet and unless carried or leashed. The Owner shall clean up pet droppings. Any Owner who keeps or maintains any pet upon any portion ofthe Property shall be deemed to have indemnified and agreedtoholdthe Association, each Owner and the Declarant free and harmless from any loss, claim or liability ofany kind or character whatever arising by reason ofkeepingor maintaining such pet within theProperty. All pets whichregularly leave the Lot shallbe registered with the Board ofDirectors and shall otherwise be registered and inoculated as requiredby law. The Board ofDirectors may establish reasonable fees for registration ofpets not to exceed the additional costs incurred by the Association due to the presence ofsuch pets.
(r) Radiation. Any operation producing intense glare or heat or such other radiation shall be performed only within an enclosed or screened area and then only in such



mannerthattheglare, heatorradiationemittedwill not bediscernible fromanypointexteriorto thesiteorLotuponwhichtheoperationis conducted.




(s) Hunting, FirearmsandFishing. Nohunting, trappingor fishing ofany kindordischargeofany firearmorotherweapon shallbe permitted without thepriorwritten approvaloftheBoardofDirectors.



(t) Watercraft. Nopersonmayuse anywatercraftpropelledbymotor onany lake,streamor otherbody ofwaterwithintheProperty withoutthepriorwrittenapprovalofthe BoardofDirectors.






(u) • •OperationofRecreationalVehicles. No personmayoperateamotorcycle,--.r trailbike, motorbike, orsimilarvehicleonaTrail(exceptforgolfcartsacrossdesignatedGolf CartPaths); suchvehiclesmayonlybe operatedonthepaved roadways intended forvehicular use.





(v) OpenFires. OpenburningisnotpermittedontheProperty, exceptthat outdoorfireplaces,grills,andchimneysmaybeusedifequippedwithfirescreenstopreventthe dischargeofembersor ashes.
(w) Lighting. Noexteriorlightingshallbedirectedoutsidetheboundariesofa Lotwithoutthepriorwrittenapprovaloftheappropriate Covenants Committee.



(x) Mailboxes andNewspaperTubes. Only mailboxesandnewspaper tubes meetingDesign Guidelinesorapprovedinwritingbythe appropriate Covenants Committee.






(y) ClothesDryingEquipment. No exteriorclotheslinesorotherclothes dryingapparatusshallbepermittedonanyLot, unless approved inwriting by the appropriate CovenantsCommittee.

(z) Pools.Noswimmingpoolshallbe erected ormaintained on any Lot unlessapprovedinwriting bythe appropriate Covenants Committeeandunlessscreened from viewandenclosedbya fence.




(aa) HomeBusinesses. NoSingleFamily Lot (including anyAccessoryUnit) or dwellinglocatedonaMultifamilyLotshallbeused forany business, commercial, manufacturing, mercantile, storage,salesorother similarpurposes; provided, however, that an Ownermaymaintainanofficeorhomebusinessinthedwellingonsuch Owner'sLot if: (1)such officeorhome businessis operatedbytheOwneroramemberofthe Owner's household residingon theLot; (ii)therearenodisplaysorsigns indicatingthatthe Lot isbeingused other thanasaresidenceexceptwiththepriorwritten approval oftheBoardofDirectors; (iii) such officeorbusinessdoesnotgeneratesignificanttrafficorparkingusage(asdeterminedby the BoardofDirectors)by clients,customers.or otherpersonsrelatedtothebusiness; (iv) no equipmentorotheritemsrelatedtothebusinessarestored,parkedorotherwisekeptonsuch Owner'sLotorthePropertyoutsideofanapprovedenclosure,exceptwiththepriorwritten approval oftheBoardofDirectors; (v)such Ownerhasobtained anyrequired approvals for such












use from the appropriate local governmental agency; (vi) the activity is consistent with the residential nature of the Property and complies with local ordinances; (vii) the dwelling is used primarily as a residence; and (viii) the Owner has obtained prior written approval of the Board of Directors. As a condition to such use, the Board may require the Owner to pay any increase in the rate of the insurance. Garage sales, yard sales and similar activities shall be conducted only in accordance with the Rules and Regulations adopted by the Board of Directors.
(bb) Garages. No garage located on a Single Family Lot or Combination Lot shall be converted to living space or altered or used for purposes which would prevent the use of the garage for the parking of the intended number of vehicles for which it was constructed without the prior written approval of the appropriate Covenants Committee.
(cc) • Construction Activities. This section shall not be construed as forbidding ·Y any work involved in the construction or Upkeep of any portion of the Property so long as such work is undertaken and carried out: (i) with the minimum practical disturbance to Persons occupying other portions of the Property; (ii) in such a way as does not violate the rights of any Person under other provisions of this Declaration; and (iii) in accordance with all applicable restrictions in the Rules and Regulations, the resolutions of the Board of Directors and the other provisions of this Declaration. The Board of Directors may approve temporary structures for construction purposes which may otherwise be in violation of the Association Documents or the Rules and Regulations.
(dd) Commercial Activities. This section shall not be interpreted to prevent normal and reasonable commercial activities on Commercial Lots or Combination Lots which have been originally zoned and designed for such activities. The provisions of the applicable Supplementary Declaration shall control the application of the Section 8.2 and the Rules and Regulations to the Commercial Lots.
Section 8.3. Rules and Regulations. The Board of Directors shall have the power to adopt, amend and repeal Rules and Regulations restricting and regulating the use and enjoyment of the Property or of any portion thereof, which may supplement, but may not be inconsistent with the provisions of the Association Documents. For the purposes of interpretation and enforcement of the Rules and Regulations, the term Property shall be deemed to include the land immediately adjacent to the Property within the public rights-of-ways or otherwise to the extent an Owner's or occupant's actions affect the appearance of or value of the Property. Any Rules and Regulations adopted or amended after conveyance of a Lot to an Owner other than the Declarant or a Builder which prohibits: i)an activity currently conducted by any Owner; or ii) any physical structure currently located on a Lot may only be amended (except for corrections or minor wording changes) by a two-thirds vote of the total number of directors, following a hearing for which due notice has been provided to all members. Copies of the Rules and Regulations shall be furnished by the Board of Directors to each member and Owner. Changes to the Rules and Regulations shall be published prior to the time when the same shall become effective and copies thereof shall be provided to each member and Owner. The Rules and Regulations shall not unreasonably interfere with the use or enjoyment of the Lots or Common Area or the reasonable conduct of business on the Commercial Lots or the Combination Lots.

Also, the Board of Directors may issue temporary or permanent exceptions or variances to any prohibitions expressed or implied by this Article, for good cause shown. The Board of Directors shall also review and approve the rules and regulations proposed by any Subassociation; provided, however, that any rules and regulations submitted to the Board shall be deemed approved if not disapproved within ten days after the first meeting of the Board after such rules and regulations are submitted. The Property shall be occupied and used in compliance with the Rules and Regulations, as well as the rules and regulations established by any Subassociation; provided, however, that any rules and regulations adopted by such Subassociation which are inconsistent with the Association Documents or the Rules and Regulations of the Association shall be void.
Section 8.4. Exclusions
(a) Exclusion for the Declarant and Designees of the Declarant. Notwithstanding any other provision of the Association Documents, neither the restrictions in this Article nor the Rules and Regulations of the Association shall apply to any otherwise lawful acts or omissions of the Declarant or of any Builder approved by the Declarant during the Development Period. This exception for Builders shall be subject to such rules as may be established by the Declarant for safety or to maintain the appearance of the Property.
(b) Exclusion for Golf Course, Other Commercial or Multifamily Properties. Notwithstanding any other provision of the Association Documents, neither the foregoing restrictions in this Article nor the Rules and Regulations of the Association shall apply to any otherwise lawful acts or omissions of the Golf Course Owner on the Golf Course, except as may be provided in a Supplementary Declaration applicable to the Golf Course. Further exclusions to the provisions of this Article may be provided with respect to Commercial Lots or Multifamily Lots in the applicable Supplementary Declaration. If a portion of the Additional Land is developed for non-residential or multifamily residential purposes and subjected to a separate Commercial Declaration or Multifamily Declaration, then the provisions of such separate Commercial Declaration or Multifamily Declaration control.
Section 8,5. Leasing and Resale of Lots.
(
a) Leasing. No Single Family Lot or any portion thereof (including an Accessory Unit) shall be used or occupied for transient or hotel purposes. No Single Family Lot (including an Accessory Unit) shall be leased for an initial period of less than six months. No portion of any dwelling (other than the entire dwelling or an Accessory Unit) shall be leased for any period; provided, however, that a reasonable number of roommates is permitted. No Owner of a Single Family Lot shall lease a Lot other than on a written form of lease: (i) requiring the lessee to comply with the Association Documents; (ii) providing that failure to comply constitutes a default under the lease; and (iii) providing that the Board of Directors has the power to terminate the lease or to bring summary proceedings to evict the tenant in the name of the lessor thereunder after forty-five days prior written notice to the Owner, in the event of a default by the tenant in the performance of the lease. The Board of Directors may suggest or require a standard form lease for use by Owners of Single Family Lots. Upon request, each Owner of a

Single Family Lot shall, promptly following the execution of any lease of a Lot, forward a conformed copy thereof to the Board ofDire~tors. The foregoing provisions of this subsection shall not apply to Multifamily Lots, Commercial Lots, Civic Lots or Lots owned by the Association, by the Declarant, or by a holder of a Mortgage in possession of a Lot as a result of foreclosure,judicial sale or a proceeding in lieu of foreclosure. None of the provisions of this Subsection shall apply to any Lot owned by the County or its designee for use as a group home.
(b) Resale.
(1) Reference to Declaration. The deed or instrument transferring title to any Lot shall contain a provision incorporating by reference the provisions of this Declaration, as well as any applicable Supplementary Declaration. Notwithstanding failure to include.a • - ·--:r reference to this Declaration in a deed or instrument transferring title to a Lot, the covenants, restrictions, easements, conditions, charges and liens set forth herein shall encumber the Lot as though reference thereto was set forth in such deed or instrument.
(2) Notification. The contract seller of a Lot shall notify the Board of Directors of the name of the contract purchaser and the scheduled date and place of settlement.
(3) Association Resale Disclosure. The Board of Directors shall, upon written request from a contract seller of a Lot, and upon payment of the applicable fee, furnish all required disclosures and a Statement of Common Expenses in accordance with Section 6.6.
Section 8.6. Resubdivision and Rezoning.
(a) Resubdivision. buring the Development Period, a Lot may be subdivided or altered so as to relocate the boundaries between such Lot and any adjoining Lot, only with the prior written approval of the Declarant, and with any required approvals by the appropriate governmental authorities. No portion of any such Lot, nor any easement or other interest therein, except easements for utilities, storm water drainage and management, street dedications and other easements or dedications to any utility or public authority, shall be conveyed or transferred by an Owner without the approval of the Declarant during the Development Period. This section is not intended to require the approval of the Declarant or the Board of Directors to leases, deeds of correction, deeds to resolve boundary line disputes or similar corrective instruments, or deeds granting any easement, right-of-way or license to any governmental or public entity, utility, the Association or the Declarant for any purpose. This section is not intended to apply to the relocation of boundary lines or resubdivision of a condominium unit which does not increase the total number of units.
(b) Rezonings and Proffer Amendments. No Owner shall seek to rezone or amend the proffers affecting such Owner's Lot without the prior written approval of the Declarant during the Development Period, or thereafter, without the prior written approval of the Board of Directors. The Declarant reserves the right to seek to rezone or amend the zoning or proffers applicable to any portion of the Property or the Additional Land without the joinder or approval of the Association or any member or Owner, (except the Owner of the land described in

the application and directly affected by the amendment) or Mortgagee. Each Owner acknowledges on behalf of such Owner and such Owner's successors and assigns, that the Declarant may from time to time rezone or amend the Proffers on the Development Plan. To the extent the approval and consent of any other Owner is required under State or local law to apply for or obtain any rezoning or proffer condition amendment or to make any subdivision submission, then each Owner appoints the Board of Directors of the Association as its attomeyin-fact to sign such application on behalf of the Owner or in the alternative, upon request each Owner agrees to sign the application or other documents required for such action; provided, however, that suchjoinder shall be without liability or cost to such Owner unless such liability or cost is expressly accepted by such Owner; and provided, further, that this covenant does not apply to any amendment which would materially, adversely affect an Owner's ability to use such Owner's Lot for its intended purposes or significantly increases such Owner's developmept -:, costs.
ARTICLE9
ARCHITECTURAL REVIEW
Section 9.1. Covenants Committee Purposes and Powers.
(a) Purpose. The Board of Directors or the Declarant shall establish various Covenants Committees as provided in Section 9.2, in order to assure that the Property shall always be maintained in a manner: (i) providing for visual harmony and soundness of repair; (ii) avoiding activities deleterious to the aesthetic or property values of the Property; and (iii) promoting the general welfare and safety of the Owners, such Owners' tenants and such Owners' (or tenants') households, or companies, guests, employees, customers, agents and invitees.
(b) Powers.
(1) The Covenants Committees shall regulate the external design, signage, appearance, use and Upkeep of the Property (including establishing minimum floor area specifications and building set backs); provided, however, that the Covenants Committees shall not have the power to regulate the activities of the Declarant on the Common Area or any Lot owned by the Declarant or construction on any Lot which has been approved by the Declarant. In addition, if the Board of Directors so determines, the covenants committee, board of directors or similar body of any Subassociation may review applications made by Owners of Lots subject to the jurisdiction of the Subassociation, on behalf of the appropriate Covenants Committee.
(2) A Covenants Committee may from time to time establish requirements regarding the form and content of plans and specifications to be submitted for approval. A Covenants Committee shall have the power to impose reasonable application fees as well as the costs ofreports, analyses or consultations required in connection with improvements or changes proposed by an Owner. Such fees shall be assessed against the Lot owned by the Owner making the application: provided, however, that the Committee shall inform the applicant

Owner of the potential·fees before incurring or assessing such fees and the Owner shall have the option to withdraw the application.
(3) A Covenants Committee shall have the power pursuant to Subsection 12.1 (h) (upon petition of any Owner or upon its own motion) to impose reasonable charges upon, and issue a cease and desist request to, an Owner, such Owner's tenant and such Owner's (or tenant's) household or company, or guests, customers, employees, agents, and invitees whose actions are inconsistent with the provisions of the Association Documents or the Rules and Regulations.
(4) Subject to the review of the Board of Directors, a Covenants Committee shall from time to time provide interpretations of the Association Documents _: -:r pursuant to the intents, provisions and qualifications thereof when requested to do so by an Owner, a member or the Board of Directors. The Committee may publish and record such interpretations in order to establish precedents for application of the Association Documents or the Design Guidelines or other matters relative to architectural control and protection of the aesthetic or property values of the Property.
(5) A Covenants Committee may propose changes or additions to the Design Guidelines for approval by the Board of Directors, subject to the limitations in paragraph (1) of Subsection 9.3(a). Such Design Guidelines approved by the Board of Directors are hereby incorporated by this reference and shall be enforceable as if set forth herein in full. The : appropriate Covenants Committee shall also review the architectural guidelines proposed by the· board of directors, covenants committee or similar committee of any Subassociation and shall - determine whether such guidelines are in keeping with the overall architectural character of the Property. Any such guidelines which are submitted to the appropriate Covenants Committee shall be deemed approved if not disapproved within sixty days. The guidelines or rules established by any Subassociation are subordinate to the Association Documents and the Design Guidelines and are void to the extent inconsistent with the Association Documents or Design Guidelines.
(6) A Majority Vote of a Covenants Committee shall be required in order to take any action. The Covenants Committee shall keep written records of all its actions. Any action, ruling or decision of the Rules and Modifications Committee (but not the Initial Construction Committee) may be appealed to the Board of Directors by any party deemed by the Board to have standing as an aggrieved party and any decision by the Commercial Review Committee may be appealed to the Board by the Commercial Lot Owner or the Multifamily Lot Owner whose Lot is directly affected by the action, ruling or decision. If properly appealed, the Board may modify or reverse any such action, ruling or decision of the Committee. The Covenants Committee and the Board of Directors shall have no authority to regulate construction by the Declarant or approved by the Declarant.
(7) A Covenants Committee shall have the right to inspect construction periodically. Any deviation from the approved drawings and specifications which materially changes the exterior appearance, quality or location of the improvement is a violation

of the Association Documents. This section shall in no way affect any requirement for inspection by any governmental entity.
(c) Authority. A Covenants Committee shall have such additional duties, powers and authority as the Board of Directors may from time to time provide by resolution. The Board of Directors may relieve a Covenants Committee (except the fuitial Construction Committee or the Commercial Review Committee) of any of its duties, powers and authority either generally or on a case-by-case basis. The Covenants Committee shall carry out its duties and exercise its powers and authority in accordance with Subsections 12.l(h) and (i) and in the manner provided for in the Rules and Regulations adopted by the Board of Directors or by resolution of the Board of Directors. Notwithstanding the foregoing, neither the Covenants Committee nor the Board of Directors shall have authority to regulate new construction or· ·-:, alterations of existing improvements by the Declarant or by others as approved by the Declarant or approved by the fuitial Construction Committee during the Development Period.
(d) Time for Response; Variances or Exceptions. A Covenants Committee shall act on all matters properly before it within sixty days after its receipt of a complete application in the form prescribed by the Covenants Committee; failure to do so within the stipulated time shall constitute an automatic referral to the Board of Directors at the written request of the applicant. Except when a request is being handled by the Covenants Committee, the Board of Directors shall be obligated to answer any written request for approval of a proposed structural addition, alteration or improvement within forty-five days after the first Board of Directors meeting held following such referral to the Board (but not more than sixty days after the date the application was submitted), and failure to do so within the stipulated time shall constitute a consent by the Board of Directors to the proposed structural addition, alteration or improvement; provided, however, that neither the Board of Directors nor the Covenants Committee has the right or power, either by action or failure to act, to waive enforcement or grant variances or exceptions from written Design Guidelines without a specific finding that enforcement of such guidelines would impose an unfair burden on such member or Owner and stating the variance or exception and the reasons therefor in a written instrument which shall be part of the records of the Association. Upon such written approval of any specific variance or exception from the requirements of the Design Guidelines, all development conforming to such variance or exception shall be deemed to comply.
(e) Standards for Enforcement. In performing its duties to accomplish its purpose as setforth in Subsection (a), the Covenants Committee shall: foster harmonious relations between Owners, occupants and third parties, encourage direct communication between disputants, balance the need for enforcement against the economic, social and community effects of such enforcement in each individual case, evaluate the materiality of any claimed breach, consider community standards and treat all Owners and occupants fairly and equally. At the request of any party, the decision of the Covenants Committee on any matter shall contain a finding as to whether the decision preserves or protects property values and/or sustains or enhances the quality of life in the community.

(f) Determination of Violations. A Covenants Committee shall establish a policy for the consideration of violations of the Association Documents, Rules and Regulations, Design Guidelines and other provisions which the Covenants Committee is empowered to enforce. Such policy shall provide whether the Covenants Committee will proactively seek out certain violations or reactively respond to complaints filed by the Owners and occupants. The Covenants Committee shall direct the management agent as to the specific extent of management's enforcement duties (in accordance with the management agreement).
(g) Conduct of Business. Neither a Covenants Committee nor the Board of Directors shall exercise its powers and authority to interfere with the reasonable conduct of business on the Commercial Lots, Multifamily Lots, Civic Lots or the Combination Lots or the development of the Property in accordance with the Development Plan. Reasonable signs,· •• • ·•J modifications, alterations and changes of use which are consistent with Design Guidelines and needed for the proper conduct of business shall be permitted. Whether a Combination Lot is subject to review by the Modification and Rules Enforcement Committee or the Commercial Review Committee shall depend first on any provision for architectural review provided in the applicable Supplementary Declaration. If the Supplementary Declaration is silent on the issue of architectural review, then whether a Combination Lot shall be subject to architectural review by the Modifications and Rules Enforcement Committee or the Commercial Review Committee shall be determined by the nature of the uses on the surrounding Lots. If the surrounding Lots are primarily residential, then the Combination Lot shall be subject to the Modifications and Rules Enforcement Committee. If the nature of the surrounding Lots is primarily nonresidential, then the Combination Lot shall be subject to review by the Commercial Review Committee.
(h) Specific Exclusions. Supplementary Declarations may exclude certain types of improvements or alterations from Covenants Committee review to the extent such improvements or alterations are not Visible from Neighboring Property. Notwithstanding the foregoing, neither the Covenants Committee nor the Board of Directors shall have authority to regulate construction or alterations made by the Golf Course Owner except as provided in the Supplementary Declaration applicable to the Golf Course.
Section 9.2. Appointment of Members to Covenants Committees. The Board of Directors, the Declarant or the Owners, as appropriate, may appoint or elect members to various specialized Covenants Committees. Such Committees may include an Initial Construction Committee, a Modifications and Rules Enforcement Committee and a Commercial Review Committee. Each of the Covenants Committee may in its discretion establish additional subcommittees to carry out its functions. Wherever in the Association Documents reference is made to the Covenants Committee, such reference shall mean the appropriate Committee having jurisdiction over the Lot in question.
(a) Initial Construction Committee. The Declarant may appoint individuals to the Initial Construction Committee during the Development Period, such individuals to serve for terms designated by the Declarant. If the Declarant does not appoint an Initial Construction Committee, then the Declarant may perform the functions of the Initial Construction Committee.

The Initial Construction Committee shall adopt Design Guidelines for the Property and review and approve or disapprove the plans for the initial construction of any structure to be located on the Property, including without limitation the site development plan, architectural design, architectural materials, landscaping plan, non-structural improvements and general appearance, in order to ensure the quality and compatibility of style of all the improvements to be located on the Property.
(b) Modifications and Rules Enforcement Committee. The Board of Directors shall appoint the members of the Modifications and Rules Enforcement Committee. The Committee shall consist of at least three persons who shall be Owners or representatives of Owners of Single Family Lots or Combination Lots which are primarily residential. Appointees to the Modifications.and Rules Enforcement Committee shall serve for terms of one to three .. years as determined by the Board of Directors. In addition to reviewing alterations and modifications to improvements on Single Family Lots and Civic Lots, the Committee shall review possible violations of the Rules and Regulations, recommend appropriate enforcement action and act as the judicial arm of the Association as set forth in Subsections 12.l(h) and (i) with respect to Single Family Lots, and Civic Lots.
(c) Commercial Review Committee. The Commercial Review Committee shall consist of three persons. Each such person shall serve for a one-year term. At least one member of the Committee shall be an Owner of or the representative of an Owner of a Commercial Lot (if any) and at least one member shall be an Owner of or the representative of an Owner of a Multifamily Lot (if any). The Owners of the Commercial Lots or Multifamily Lots serving on the Committee shall be elected by the Owners of Commercial Lots and Multifamily Lots based on one vote per Lot; provided, however, that each member serving on the Committee must be an Owner or the representative of an Owner of a different Lot and be a different Owner. If there are not at least three Owners of Commercial or Multifamily Lots or at least three Owners or representatives of Owners of Commercial or Multifamily Lots willing to serve, then the remaining positions on the Commercial Review Committee may be filled by appointment by the Board of Directors. If all the Owners of Commercial and Multifamily Lots are also members of the same Subassociation, then the members of the Commercial Review Committee shall be appointed by the board of directors of such Subassociation. If the Owners of Commercial Lots and Multifamily Lots fail to elect members to the Commercial Review Committee, then the Board shall have the right to appoint members to the Committee. Members appointed by the Board shall serve only until the Commercial Owners and Multifamily Owners elect replacement members. The Commercial Review Committee shall review and approve or disapprove the plans for any additions, alterations or modifications to the exterior of existing improvements located on Commercial Lots and Multifamily Lots. The Committee shall also review possible violations of the Rules and Regulations, recommend appropriate enforcement action and act as the judicial arm of the Covenants Committee as set forth in Subsections 12.l(h) and (i) with respect to Commercial Lots and Multifamily Lots. Notwithstanding any other provision of the Association Documents, decisions of the Commercial Review Committee are not appealable to the Board of Directors or subject to review by the Board, unless appealed by the Owner of the Commercial Lot or Multifamily Lot that is directly affected by an adverse decision.

Section 9.3. Architectural Review During the Development Period.
(
a) Initial Construction. The Declarant shall have the right to adopt all initial Design Guidelines for the Property during the Development Period and review and approve or disapprove the plans for the initial construction of any structure to be located on the Property, including without limitation the site development plan, architectural design, architectural materials, landscaping plans, minimum square footage, non-structural improvements and general appearance in order to ensure the quality and compatibility of style of all the improvements to be located on the Property. Such Design Guidelines for initial construction, as the same may be amended by the Declarant during the Development Period from time to time, are hereby incorporated herein by this reference and shall be enforceable as if set forth herein in full. The Declarant may exercise its right to review and approve or disapprove all initial constructio_~ on- . -j the Property directly or through the Initial Construction Committee appointed pursuant to Subsection 9.2(a). The Initial Construction Committee may establish its own applications and procedures and may charge a fee for its review. Decisions of the Initial Construction Committee are not appealable to the Board of Directors. The Declarant or the Initial Construction Committee has the right or power to waive enforcement or grant variances or exceptions from written Design Guidelines in a written instrument stating the variance which shall be part of the records of the Association. Upon such written approval of any specific variance or exception from the requirements of the Design Guidelines, all development conforming to such variance or exception shall be deemed to comply. All costs and expenses of the Initial Construction Committee not covered by application fees shall be deemed a Common Expense. After the Development Period, the Initial Construction Committee shall cease to exist. If initial construction on the Property occurs after the Development Period and after the Initial Construction Committee ceases to exist, then such construction will be reviewed by the Modifications and Rules Enforcement Committee or the Commercial Review Committee, as applicable.
(b) Modifications and Rules Enforcement. Review of the plans for any additions, alterations or modifications to the exterior of existing improvements located on the Property and possible violations of the Association Documents and Rules and Regulations by an Owner, shall be conducted by either the Modifications and Rules Enforcement Committee or the Commercial Review Committee, as applicable, in accordance with Sections 9.1. and 9.2.
Section 9.4. Compensation of the Covenants Committee. One or more members of a Covenants Committee other than an Owner or a occupant of the Property may be compensated by the Association for their service on the Committee (including designees of the Declarant) and for their technical or professional expertise as may be determined by the Board of Directors.

Section 9 .5.
Additions. Alterations and Improvements Requiring Approval.
(a) Approval Required.
(1) No Person shall make any addition, alteration, improvement or change of grade in or to any Lot (other than for normal Upkeep or natural landscaping and not including areas within a building or dwelling visible from the exterior only because of the transparency of glass doors, walls or windows) without the prior written consent of the appropriate Covenants Committee. No Person shall make any addition, alteration or improvement to any common area owned by a Subassociation or the common elements of any· -7 condominium or cooperative located within the Property (other than for normal Upkeep or natural landscaping and not including areas within a building or dwelling visible from the exterior only because of the transparency of glass doors, walls or windows) without the written consent of the appropriate Covenants Committee. No Person shall paint, affix a sign not permitted by the Rules and Regulations to or alter the exterior of any improvement, including the doors and windows if Visible from Neighboring Property without the prior written consent of the appropriate Covenants Committee. Approval by the Declarant, the Board of Directors or a Covenants Committee shall not relieve an Owner or Subassociation from any obligation to obtain required governmental approvals and permits. Upon request, the Owner or member shall deliver all approvals and permits required by law to the Declarant, the Covenants Committee or Board of Directors, as appropriate, prior to the commencement of the construction requiring such approval or permit. If any application to any governmental authority for a permit to make any such structural addition, alteration or improvement to any Lot or improvement located on any Lot requires signature by the Association, and provided consent has been given by the Declarant, the Board of Directors or the appropriate Covenants Committee, then the application shall be signed on behalf of the Association by an Officer only, without incurring any liability on the part of the Officer, the Board of Directors, the Association, the Covenants Committee members, the Declarant or any of them to any contractor, subcontractor or materialman on account of such addition, alteration or improvement, or to any Person having a claim for personal injury or property damage arising therefrom. Any addition, alteration or improvement upon any Lot in violation of the Association Documents shall be removed or altered to conform to the Association Documents (including the Design Guidelines) within thirty days after notice from the Board of Directors or the appropriate Covenants Committee of the violation.
• (2) With respect to Lots which are also subject to the jurisdiction of a Subassociation, the Board of Directors may determine to have the covenants committee, board of directors or similar body of such Subassociation review applications for architectural review on behalf of the Covenants Committee. Owners of such Lots must comply with the Design Guidelines and the Rules and Regulations for the Property, as well as any guidelines or rules and regulations established by the Subassociation with jurisdiction over such Lot.
(3) During the Development Period, the provisions of this section shall not apply to Lots owned by the Declarant or to new construction or alteration of existing

improvements on any Lot if such construction or alteration has been approved by the Declarant. The Declarant or an Owner, if approved by the Declarant, shall have the right to construct improvements, make alterations or subdivisions without the approval of the Board of Directors or a Covenants Committee and an authorized Officer shall sign any application required therefor.
(4) The provisions of this section shall not apply to a holder of a Mortgage (in possession of a Lot as a result of foreclosure, judicial sale or proceeding in lieu of foreclosure) affixing a sign or taking any other actions that may be necessary to sell or lease all or any portion of the Lot, if such actions are in accordance with applicable zoning and not detrimental to the value of the Property.
(b) • •Limitations.
(1) Any Person obtaining approval of the appropriate Covenants Committee, the Board of Directors or the beclarant shall commence construction or alteration in accordance with plans and specifications approved within six months after the date of approval and shall substantially complete any construction or alteration within twelve months after the date of approval, or within such other period as specified in the approval. Notwithstanding the foregoing, the approval may provide for a different period during which to commence or complete construction. If any such Person does not commence work within six months after approval, or such other time period determined by the Committee, Board or Declarant, as applicable, then approval shall lapse.
(2) Any Person obtaining approval of the appropriate Covenants Committee shall not deviate materially from the plans and specifications approved without the prior written consent of the Committee. Such Person shall notify the Committee when the alterations or improvements are complete. Approval of any particular plans and specifications or design does not waive the right of the Committee to disapprove such plans and specifications, or any elements or features thereof, if such plans and specifications are subsequently submitted for use in any other instance or by any other Person.
( c) Certificate of Compliance. Upon the completion of any construction or alterations in accordance with plans and specifications approved in accordance with this Article, the Covenants Committee or the Board of Directors shall, at the request of the Owner thereof, issue a certificate of compliance which shall be prima facie evidence that such construction or alteration referenced in such certificate has been approved in accordance with this Article and constructed or installed in full compliance with the provisions of this Article and with such other provisions and requirements of the Association Documents as may be applicable. The certificate shall not be used and may not be relied upon for any other purpose, and shall not constitute a representation either as to the accuracy or sufficiency of the plans and specifications reviewed by the Committee or the quality or soundness of the construction, alterations or improvements or as a substitute for governmental approvals or permits. The Committee may impose a reasonable charge to cover the costs of inspection and preparation of such a certificate.

(d) Improvements During Development Period. If construction is reviewed by the Declarant or the Initial Construction Committee pursuant to Sections 9.2 and 9.3, all references to the Covenants Committee shall be deemed to mean the Declarant or the Initial Construction Committee, and such construction shall be subject only to such limitations as may be determined by the Declarant.
(e) Golf Course Lot. Notwithstanding any other provision of this Declaration, any Lot containing the Golf Course or the Club shall not be subject to architectural review by the Association, the Board of Directors or the Covenants Committee, except as provided by the applicable Supplementary Declaration or Commercial Declaration. Notwithstanding the foregoing, during the Development Period, new construction and any alterations thereafter on the Golf Course or Club-shall be subject to architectural review by the Declarant or the Initial~ •-:r Construction Committee.
Section 10.1. General Provisions. ARTICLE 10
INSURANCE
(a) Authority, Liability and Notice. The Board of Directors shall have the power and responsibility on behalf of the Association to: (i) purchase insurance policies relating to the Common Area or Common Easement Areas, (ii) adjust all claims arising under such policies and (iii) execute and deliver releases upon payment of claims. The cost of all insurance policies purchased by the Board relating to the Common Area shall be a Common Expense or Limited Common Expense, as appropriate. The Board of Directors, the managing agent and the Declarant shall not be liable for failure to obtain any coverages required by this Article or for any loss or damage resulting from such failure: (i) if such failure is due to the unavailability of such coverages from reputable insurance companies; (ii) if such coverages are so available only at demonstrably unreasonable cost; or (iii) if the Association's insurance professionals advise that the coverages required by paragraph (2) of Subsection 10.2(b) are unnecessary. Exclusive authority to negotiate losses under policies purchased by or on behalf of the Association shall be vested in the Board of Directors or with its authorized representative. The Board of Directors shall promptly notify the members, Owners, and Mortgagees of material adverse modifications, lapses or termination of, insurance coverages obtained on behalf of the Association.
(b) Policy Requirements.
(1) All policies of insurance shall be written by reputable companies licensed or qualified to do business in Virginia.
(2) The deductible or retained limit (if any) on any insurance policy purchased by the Board of Directors shall be a Common Expense (or a Limited Common Expense or a Recreational Facility Expense, as appropriate); provided, however, that the Association may, pursuant to Subsections 6.2( c) and 12.1 (a), assess any deductible amount necessitated by the

misuse or neglect of an Owner, or such Owner's tenant or such Owner's (or tenant's) household or company, guests, customers, employees, agents or invitees against the Lot owned by such Owner.
(3) The Declarant, so long as the Declarant shall own any Lot, shall be protected by all such policies as an Owner.
(4) Each such policy shall provide that:
(A) The insurer waives any right to claim by way of subrogation against the Declarant, the Association, the Board of Directors, the managing agent, any member or Owner and their respective households or companies, or guests, customers, employees,... . -J tenants, agents and invitees;
(B) Such policy shall not be canceled, invalidated or suspended due to the conduct of any member or any Owner, or such Owner's tenant or such Owner's (or tenant's) household or company, or guests, customers, employees, agents and invitees, or of any member, Officer or employee of the Board of Directors or the managing agent without a prior demand in writing that the Board or the managing agent cure the defect and neither shall have so cured such defect within thirty days after such demand; and
(C) Such policy may not be canceled or substantially modified (including cancellation for non-payment of premium) without at least thirty days prior written notice to the Board of Directors and the managing agent.
Section 10.2. Physical Damage Insurance.
(a) Coverage. The Board of Directors shall obtain and maintain a "Special Form" policy of insurance including without limitation fire damage, vandalism, malicious mischief, sprinkler leakage (if applicable), cost of demolition, debris removal, and water damage coverage, insuring any improvements located on the Common Area or Common Easement Areas, if any, (including without limitation any floor coverings, fixtures and appliances), together with all air conditioning and heating equipment and other service machinery contained therein and covering the interests of the Association, in an amount equal to one hundred percent of the then current full insurable replacement cost (exclusive of the land, excavations, foundations and other items normally excluded from such coverage), without deduction for depreciation (such amount to be redetermined periodically by the Board with the assistance of the insurance company affording such coverage). The Board of Directors shall also obtain and maintain appropriate coverage on all personal property and real estate other than the Common Area owned by the Association.
(b) Waivers and Endorsements. Each such policy shall also provide:
(1) a waiver of any right of the insurer to repair, rebuild or replace any damage or destruction, ifa decision is made not to do so;

(2) the following endorsements (or equivalent): A) "no control" (to the effect that coverage shall not be prejudiced by any act or neglect of any member, Owner or occupant or their agents when such act or neglect is not within the control of the insured or the Owners or the members collectively, nor by any failure of the insured any members or the Owners collectively, to comply with any warranty or condition with regard to any portion of the Property over which the insured, the members or the Owners collectively have no control; B) "cost of demolition"; C) "contingent liability from operation of building laws or codes"; D) "increased cost of construction" or "inflation guard"; E) "replacement cost" or "guaranteed replacement cost"; and F) "agreed amount" or "elimination of co-insurance" clause;
• ·(3) that any "no other insurance" clause expressly exclude indiyidual --;r members' and Owners' policies from its operation so that the physical damage policy purchased by the Board of Directors shall be deemed primary coverage and any individual members' or Owners' policies shall be deemed excess coverage, and in no event shall the insurance coverage obtained and maintained by the Board of Directors hereunder provide for or be brought into contribution with insurance purchased by individual members or Owners or Mortgagees, unless otherwise required by law;
(4) such deductibles as to loss, but not coinsurance features, as the Board of Directors in its sole discretion deems prudent and economical; and
(5) to the extent a policy covers a dwelling located on any Lot, the standard mortgagee clause.
(c) Certificates. Certificates of physical damage insurance signed by an agent of the insurer, all renewals thereof, and any sub-policies or certificates and endorsements issued thereunder, together with proof of payment of premiums, shall be delivered by the insurer to any Mortgagee requesting the same, at least ten days prior to expiration of the then current policy.
(d) Notice to Mortgagees. All Mortgagees shall be notified promptly of any event giving rise to a claim under such policy arising from damage to improvements located on the Common Area or Common Easement Areas in excess often percent of the annual budget for Common Expenses. The Mortgagee of any Lot insured by the Association shall be notified promptly of any event giving rise to a claim under such policy arising from damage to improvements located on such Lot.
Section 10.3. Liability Insurance. The Board of Directors shall obtain and maintain comprehensive general liability (including without limitation libel, slander, false arrest and invasion of privacy coverage) and property damage liability insurance in such limits as the Board may from time to time determine, insuring the Association, each director, the managing agent, the members, Owners and the employees of the Association against any liability to the public or to any member or any Owner or such Owner's tenants and such Owner's (or tenant's) household or company, or guests, customers, employees, agents and invitees arising out of, or incident to the ownership or care, custody, control and use of the Common Area or Common Easement

Areas or legal liability arising out of employment contracts of the Association. Such insurance shall be issued on a comprehensive liability basis and shall contain: (i) a cross-liability endorsement under which the rights of a named insured under the policy shall not be prejudiced with respect to an action against another named insured; (ii) hired and non-owned vehicle coverage; (iii) host liquor liability coverage with respect to events sponsored by the Association; (iv) deletion of the normal products exclusion with respect to events sponsored by the Association; and (v) a "severability of interest" endorsement which shall preclude the insurer from denying liability coverage to a member or an Owner because of negligent acts of the Association or of another member or Owner. The Board of Directors shall review such limits once each year, but in no event shall such insurance be less than one million dollars covering all claims for bodily injury or property damage arising out of one occurrence. Reasonable amounts of "umbrella" liability-insurance in excess of the primary limits shall also be obtained in an -I amount not less than two million dollars.
Section 10.4. Other Insurance. The Board of Directors shall also obtain and maintain:
(1) adequate fidelity coverage to protect against dishonest acts on the part of directors, Officers, trustees and employees of the Association and all others who handle or are responsible for handling funds of the Association, including the managing agent and volunteers. If the Association has delegated some or all of the responsibility for handling funds to a managing agent, such managing agent shall be covered by its own fidelity insurance. Such fidelity insurance (except for fidelity insurance obtained by the managing agent for its own personnel) shall: (i) name the Association as an obligee; (ii) be written in an amount not less than one-fourth the total annual assessment for Common Expenses or the amount required by the Mortgagees, FNMA or FHLMC, whichever is greatest; and (iii) contain waivers of any defense based upon the exclusion of Persons who serve without compensation from any definition of "employee" or similar expression;
(2) if required by a majority of the Mortgagees or governmental regulations, flood insurance in accordance with the then applicable regulations for such coverage;
(3) workers' compensation insurance if and to the extent necessary to meet the requirements oflaw (including a voluntary employees endorsement and an "all states" endorsement);
(4) if applicable, pressure, mechanical and electrical equipment including air conditioning equipment coverage on a comprehensive form in an amount not less than fifty thousand dollars per accident per location;
(5) directors and officers liability insurance in an amount not less than one million dollars; and
(6) such other insurance: (i) as the Board of Directors may determine; or (ii) as may be required with respect to the Additional Land by the applicable Supplementary Declaration or (iii) as may be requested from time to time by a Majority Vote of the members.

Section 10.5. Insurance on Lots.
(a) Optional Insurance. Each member or Owner shall have the right to obtain insurance for such member's or Owner's benefit, at such member's or Owner's expense, covering the improvements located on such Owner's Lot or the land owned or maintained by such member and such member's or Owner's personal liability. No member or Owner shall acquire or maintain insurance coverage on the Common Area or Common Easement Areas insured by the Association so as to: (i) decrease the amount which the Board of Directors may realize under any insurance policy maintained by the Board; or (ii) cause any insurance coverage maintained by the Board to be brought into contribution with insurance coverage obtained by a member or an Owner; or (iii) in violation of any condominium instruments or declaration of covenant_~ ·•. -J encumbering such Owner's Lot. No member or Owner shall obtain separate insurance policies on the Common Area owned in fee simple by the Association.
(b) Required Coverage. (1) Due to the shared walls between the improvements located on some of the Lots, each Owner of a Lot containing an attached structure shall obtain a "special form" policy of fire insurance with extended coverage in an amount equal to one hundred percent of the then current insurable replacement cost of any improvements located on such Owner's Lot. If the Board of Directors so requests, the Owner of such a Lot and shall provide a certificate of insurance to the Board fifteen days prior to the expiration of such insurance. Any policy obtained shall provide that is may not be canceled except upon ten days written notice to the Association. If an Owner fails to obtain the insurance coverage required by this Article, the Board of Directors may purchase such insurance coverage on such Owner's behalf and assess the Lot owned by such Owner for the cost thereof pursuant to Subsections 6.2(c) and 12.l(a). The Declarant, the Association and the Board of Directors shall not be held liable for the failure of any Owner to purchase insurance.
(2) Members and Owners may be required to obtain certain insurance coverages with respect toAdditional Land in the Supplementary Declaration adding such Additional Land.
ARTICLE
11
RECONSTRUCTION AND REP AIR
Section 11.1. When Reconstruction or Repair Required.
(a) Common Area. Except as otherwise provided in Section 11 .4, if all or any part of any improvement located on the Common Area or the Common Easement Areas is damaged or destroyed by fire or other casualty, the Board of Directors shall arrange for and supervise the prompt repair and restoration thereof (including without limitation any floor coverings, fixtures and appliances). The Association shall not use the proceeds of casualty insurance received as a result of damage or destruction of improvements located on the Common

Area or Common Easement Areas for purposes other than the repair, replacement or reconstruction of such improvements except in accordance with Sections 11.4 and 15 .4.
(b) Lots. If a building or other major improvement located upon a Lot is damaged or destroyed, the Owner thereof or the Subassociation responsible for maintaining such building or improvement shall restore the site either: (i) by repairing or reconstructing such building or other major improvement; or (ii) by clearing away the debris and restoring the site to an acceptable condition compatible with the remainder of the Property. Unless the applicable Covenants Committee permits a longer time period, such work must be: (i) in the case of a detached structure, commenced within six months after the casualty and substantially completed within twelve months after the casualty or (ii) in the case of an attached structure, commenced within three months aBer the casualty and substantially completed within six months afte:r_the - --;; casualty. If the building or other major improvement will look substantially the same as before the casualty and will comply with the Design Guidelines, no prior approval of the Covenants Committee shall be required.
Section 11.2. Procedure for Reconstruction and Repair of Common Area.
(a) Cost Estimates. Immediately after a fire or other casualty causing damage to any portion of any improvement located on the Common Area or Common Easement Areas, the Board of Directors shall obtain reliable and detailed estimates of the cost of restoring and repairing such improvement (including without limitation any floor coverings, fixtures and appliances) to a condition as good as that existing before such casualty. Such costs may also include professional fees and premiums for such bonds as the Board of Directors determines to be necessary.
(b) Plans and Specifications. Any such reconstruction or repair shall be substantially in accordance with the original construction of any improvement located on the Common Area, subject to any modifications required by changes in applicable governmental regulations, and using contemporary building materials and technology to the extent feasible; provided, however, that other action may be taken if approved in accordance with Section 15 .4.
Section 11.3. Disbursement of Construction Funds for Common Area.
(a) Construction Fund and Disbursement. The proceeds of insurance collected on account of a casualty and the sums received by the Board of Directors from the collection of Assessments against the Owners pursuant to Subsection l l .3(b) or any Owner pursuant to Subsections 6.2(c) or 12.l(a), shall constitute a construction fund which shall be disbursed in payment of the costs of reconstruction and repair in the following manner.
(1) If the estimated cost of reconstruction and repair is less than ten percent of the total annual Assessment for Common Expenses for that fiscal year, then the construction fund shall be disbursed in payment of such costs upon order of the Board of Directors.

(2) If the estimated cost ofreconstruction and repair is ten percent or more of the total annual Assessment for Common Expenses for that fiscal year, then the construction fund shall be disbursed in payment of such costs upon approval of an architect qualified to practice in the jurisdiction where the Property is located and employed by the Board of Directors to supervise such work, payment to be made from time to time as the work progresses. The architect shall be required to furnish a certificate giving a brief description of the services and materials furnished by various contractors, subcontractors, materialmen, the architect and other Persons who have rendered services or furnished materials in connection with the work stating that: (i) the sums requested by them in payment are justly due and owing and that such sums do not exceed the value of the services and materials furnished; (ii) there is no other outstanding indebtedness known to such architect for the services and materials described; and (iii) the cost as estimated by such architect for the work remaining to be done subsequentJo the --;r date of such certificate does not exceed the amount of the construction fund remaining after payment of the sum so requested. The Board of Directors shall be entitled to rely on such certificate.
(b) Shortfalls. If the proceeds of insurance are not sufficient to defray such estimated costs ofreconstruction and repair, or if upon completion ofreconstruction and repair the funds for the payment of the costs thereof are insufficient, the amount necessary to complete such reconstruction and repair may be obtained from the appropriate reserve for replacement funds or shall be deemed a Common Expense or a Limited Common Expense, as appropriate, and an assessment therefor shall be levied subject to Section 6.2.
(c) SmJ>lus. The first monies disbursed in payment of the cost of reconstruction and repair shall be from insurance proceeds. If, after payment of the costs of all reconstruction and repair, and the refund of any excess payments made by Owners pursuant to Subsection l l .3(b) in proportion to their contributions or the refund of excess payments by any Owner pursuant to Subsection 12.l(a), there remains any surplus fund, such fund shall be paid to the Association and shall be placed in the appropriate reserve account.
Section 11.4. When Reconstruction and Repair of Common Area Not Required.
If destruction of the improvements located on the Common Area or the Common Easement Areas is insubstantial, the Board of Directors may elect not to repair such insubstantial damage. Otherwise, any decision not to repair or restore improvements on the Common Area shall be made in accordance with Section 15.4. If damaged improvements are not repaired, then the Board of Directors shall remove all remnants of the damaged improvements and restore the site thereof to an acceptable condition compatible with the remainder of the Common Area and the balance of any insurance proceeds received on account of such damage shall be placed in the appropriate reserve account.































































