Planning Academy 101 | Zoning and Lande Development Codes

Page 1


Zoning & Land Development Codes

Jessica Frye, AICP, Housing Initiative Manager

City of Orlando Housing and Community Development Department

Nicolas Thalmueller, AICP, Planning Administrator

Orange County Planning Division

Presentation Outline

• Zoning – What is it?

• How and Why Does Zoning Even Exist

• How Land Development Codes Work

• Different Types of Codes

• How Codes and Maps Change

Presentation Outline

• Zoning – What is it?

• How and Why Does Zoning Even Exist

• How Land Development Codes Work

• Different Types of Codes

• How Codes and Maps Change

Zoning Defined

Zoning is a locally enacted ordinance that regulates the built environment and controls the use of private property.

Zoning divides all parcels of land within a jurisdiction into different districts, or zones, and establishes the allowable uses within each zone, as well as the minimum development standards that must be met.

All jurisdictions, whether a County or Municipality, have Zoning and a Land Development Code.

Zoning Defined

Zoning establishes the legal framework under which site-specific development can be approved.

Zoning is the key tool for implementing the Comprehensive Plan/Growth Management Plan. Zoning regulations and standards relating to the nature and extent of uses of land and structures must be in line and consistent with the underlying Future Land Use designations in the Comprehensive Plan, as well as in tune with the established goals and policies.

Zoning regulations help ensure a city will grow and change in a managed, predictable way to help safeguard the health, safety and welfare of the general public.

Zoning Defined

Zoning is a balance between property rights and the public good.

It’s a Compromise between all the things you want to do to your property…...and all the things you’re afraid your neighbor will do to their property.

Presentation Outline

• Zoning – What is it?

• How and Why Does Zoning Even Exist

• How Land Development Codes Work

• Different Types of Codes

• How Codes and Maps Change

A Brief History of Time Zoning

Constitutional Amendments that are important to Zoning:

Important ones are the 5th and 14th amendments – Takings and Due Process

• 5th Amendment:

“No person shall be deprived of life, liberty or property without due process of law”

“ Nor shall private property be taken for a public use, without just compensation.”

• 14th Amendment:

“No state shall make or enforce any law which shall abridge the privileges or immunities of citizens of the U.S”

“Nor shall any state deprive any person of life, liberty or property without due process of law”

“Nor deny any person within its jurisdiction the equal protection of the laws.”

A Brief History of Time Zoning

Constitutional Amendments that are important to Zoning: Also, don’t forget about the 1st Amendment regarding signage and indecent uses.

Real Life Xample:

A Brief History of Time Zoning

Key Case and why they were

Cusack Co. v. City of Chicago

a billboard ordinance (standards and uses)

that a taking occurs when there is no essential nexus between a development condition and the purpose behind it.

v. City of Tigard Held that there is a rough proportionality between a government-imposed condition on proposed development and the impact of that development (check out Koontz v. St. Johns River Water Management District as well – 2013)

A Brief History of Time Zoning

State enabling legislation

Home rule/Dillons rule.

Home Rule gives local governments greater autonomy to govern themselves and pass laws while Dillon’s Rule means the State’s constitution and statutes define their powers and they must obtain permission to pass an ordinance that in not specifically allowed in statute.

Florida is a Home Rule State

Having Home Rule does not mean the state cannot preempt your land use policies– Example, The Live Local Act (and the recent Amendment)

Presentation Outline

• Zoning – What is it?

• How and Why Does Zoning Even Exist

• How Land Development Codes Work

• Different Types of Codes

• How Codes and Maps Change

Land Development Codes (Zoning Codes)

Typical Zoning Districts Examples (will differ by jurisdiction):

Residential Zoning Districts

-Single-family districts (detached single family homes)

-Multi-family districts (townhomes and apartments)

Non-Residential Zoning Districts

- Office Districts (office uses)

- Commercial districts (retail or service uses)

-Industrial districts (manufacturing uses)

Agricultural Districts

* Note: This is a general outline of uses. Your experience may duffer per jurisdiction.

-Allow agricultural uses (like farms, crops, greenhouses, livestock) as well as homes potentially

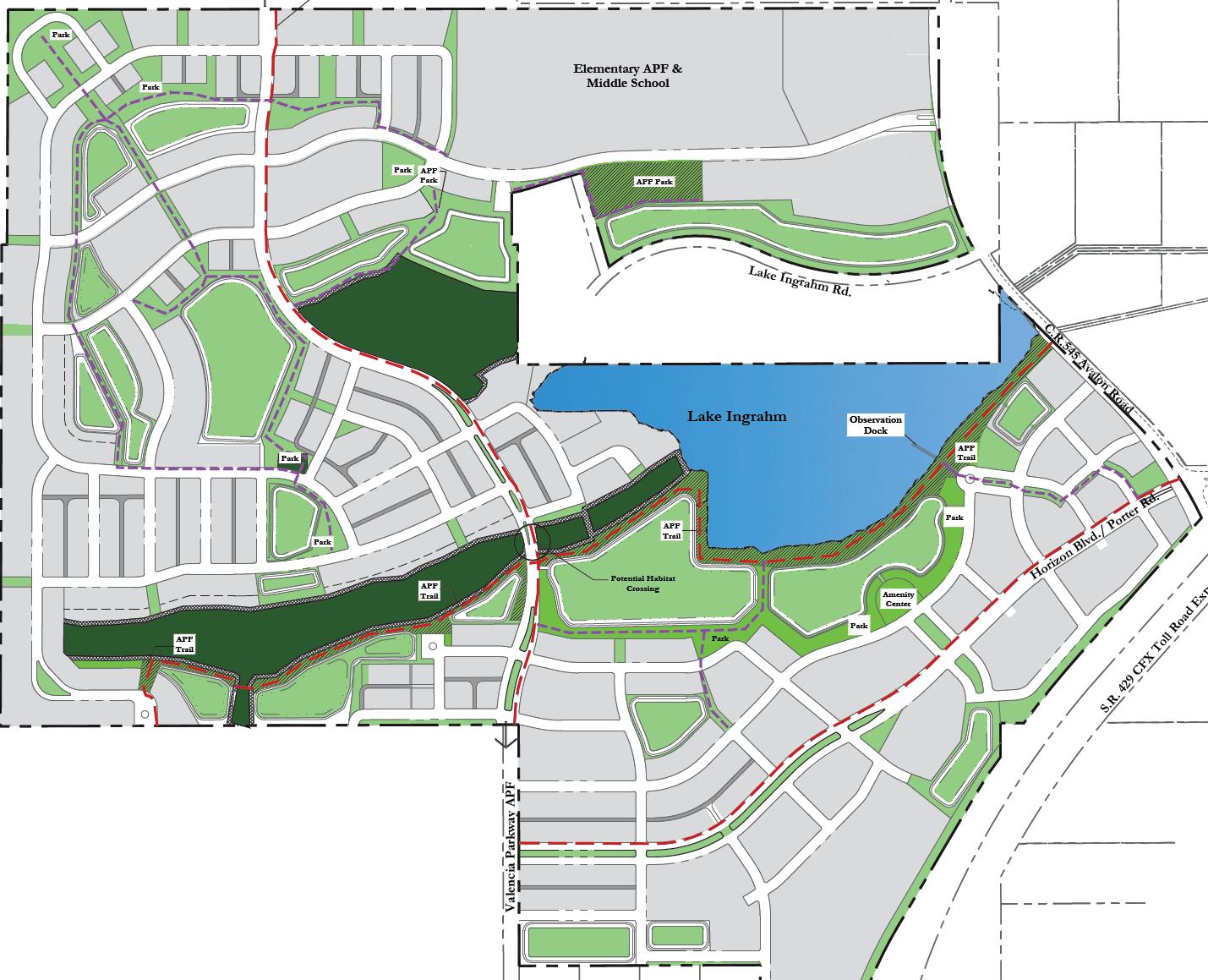
Mixed Use and Planned Developments

-Allow a mix of uses (including single family, multifamily, commercial, etc.) in an area

Land Development Codes (Zoning Codes)

Zoning Maps Assign Districts (or Zones) to each property

Traditional colors:

• Yellow – Residential

• Red – Commercial

• Purple – Industrial

• Blue – Institutional (government/public)

• Green – Parks and Open Space

Land Development Codes (Zoning Codes)

 Must be consistent with Comprehensive/Growth Management Plan

 Establishes transitions of development and centers of activity.

• Commercial and industrial along corridors, office, and retail downtown (or equivalent).

• Higher density concentrated and transition to single-family suburbs

Corridors

Centers

Land Development Codes (Zoning Codes)

Typical Zoning Code lays out what uses are allowed in each zoning district.

Districts can be single type of use, mixed use, or special (PD/PUD used for unique circumstances

Uses can be

• Permitted by Right

• Prohibited

• Conditional Use

• By Special Exception

Land Development Codes (Zoning Codes)

Zoning Districts also have minimum development standards and requirements that must be met for site development, specific to each zoning district, established in the Land Development Code.

These will typically include the following:

• Building setbacks

• Lot Sizes

• Max building heights

• Lot coverage and open space

• Architectural standards

• Parking standards

• Impervious Surface Ratio (ISR)

• Floor Area Ratio (FAR)

• Landscape and Tree planting

• Road access

• Drive aisle/ Fire Access

• Pedestrian connectivity

• Signage

• Drainage & Conservation area

• Utility Requirements

Land Development Codes (Zoning Codes)

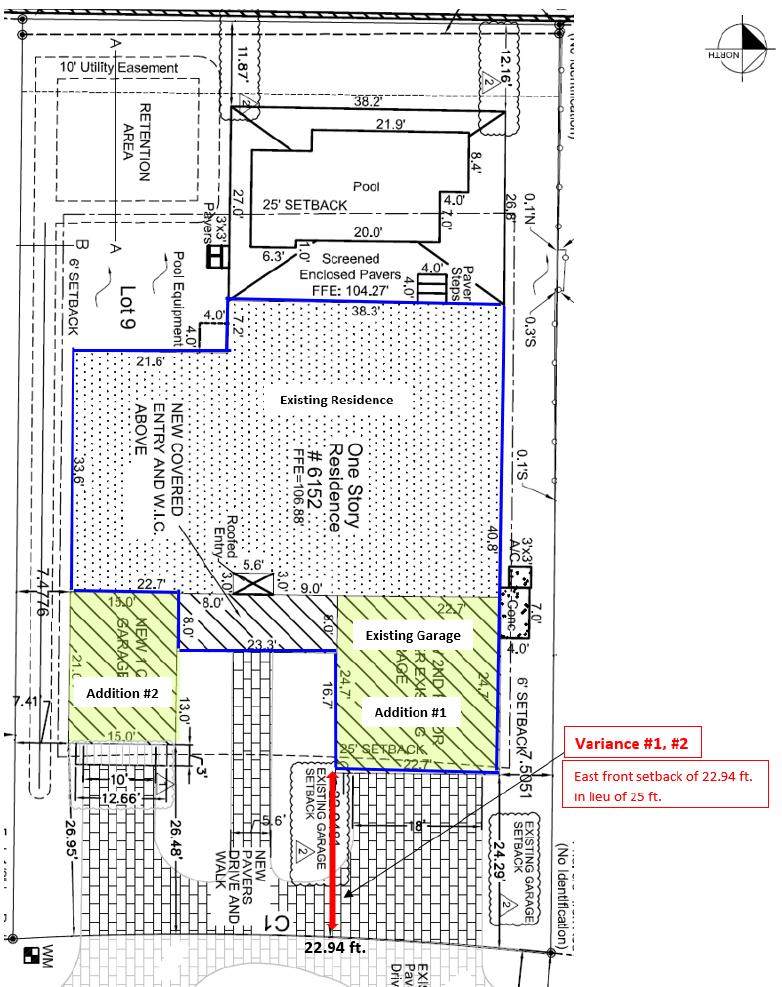
Setbacks (how far away a structure is from property lines)

This ensures separation between lots, and provides for adequate light, air, privacy, access, and open space. All structures have a minimum required setback that must be maintained from the property lines.

*setbacks can apply differently due to lot configuration

Land Development Codes (Zoning Codes)

Height (how tall a structure is)

All structures have max a maximum height they cannot exceed. This ensures adequate light, air, and privacy between abutting and adjacent properties, and compatibility.

Land Development Codes (Zoning Codes)

Open Space, and Landscaping & Buffering

Lots require a certain percentage of open space (area that is not improved, or containing structures), to allow for adequate drainage, and building massing. As well as adequate landscaping to provide both separation and shade and aesthetics.

Land Development Codes (Zoning Codes)

Floor Area Ratio - Total covered area on all floors, gross floor area) / (area of the plot)

Impervious Surface Ratio -- How Much of a lot can be impervious surface. ISR measures the footprint of structures AND other improved/constructed surfaces

*Think horizontal

*Think vertical

Land Development Codes (Zoning Codes)

Parking requirements

Making sure there is adequate parking provided on site, for proposed use (based on building square footage/number & type of units)

Land Development Codes (Zoning Codes)

Signage

The amount of signage is typically regulated within Land Development Codes, usually regulating size and type of signs permissible

Land Development Codes (Zoning Codes)

Architectural design , Building Materials, and many other elements specifically laid out in Zoning Code

Land

Development Codes (Zoning Codes)

Certain uses are not appropriate generally, but can be approved as a special exception with site specific restrictions., Zoning Codes include mechanisms which allow property owners to request relief from certain restrictions under certain circumstances.

Variance

A deviation from code specific standard that can’t be met due to unique site characteristics (ex. A lesser setback or additional height)

Special Exception

Land Development Codes (Zoning Codes) Zoning Codes include provisions for Nonconforming (Grandfathered) Uses and Structures

• Codes Are Regularly Amended to Reflect Updated Trends, Conditions, and Needs

Nonconforming use designations are a tool through which new and old zoning standards can coexist

Uses/structures permitted under old zoning can remain as they are, but they must meet new zoning standards if they want to change size, intensity, or use.

The code regulates how nonconforming uses/structures can be replaced in the event of destruction, and places limits on the degree to which they can be repaired in the event of damage.

Presentation Outline

• Zoning – What is it?

• How and Why Does Zoning Even Exist

• How Land Development Codes Work

• Different Types of Codes

• How Codes and Maps Change

All Zoning is Not the Same

• All codes are different same basic concepts and structure.

Traditional Euclidian or Use Based Code

• Separated by specific uses

Form based codes

• Uses are less of an issue and more emphasis is placed on the architecture, scale, and building form Transects

• Zones are based on density and height. Use compatibility is also still part of it. Generally, more mixed use.

Hybrids

• A lot of municipalities use a combination of all of these either in all of their codes or specific overlay areas based on different variables such as transportation hubs

Presentation Outline

• Zoning – What is it?

• How and Why Does Zoning Even Exist

• How Land Development Codes Work

• Different Types of Codes

• How Codes and Maps Change

Zoning Changes

Zoning Codes include mechanisms that allow zoning map/text to be changed.

Chchchchanges

Compatibility

Is the request compatible with the surrounding development and development trends in the area.

163.3164 (9) F.S.: “Compatibility” means a condition in which land uses or conditions can coexist in relative proximity to each other in a stable fashion over time such that no use or condition is unduly negatively impacted directly or indirectly by another use or condition.

Consistency Is the request consistent with the Goals, Objectives, and Policies of the Comprehensive Plan / Growth Management Plan?

Chchchchanges

Are the Future Land Use and Zoning Districts Consistent?

Future Land Use and Zoning Consistency

Future Land Use

General Type of Use and How Much

Consistent Zoning Districts

Development Good to Go

Inconsistent Zoning Districts Change needed

(with limited exceptions)

Options:

• Rezone

• ReFLUM

• Rezone & ReFLUM

• Limited exceptions subject to review and approval by Planning Division

Inconsistent Zoning Districts

Zoning & Land Development Codes

Q & A

Zoning & Land Development Codes

END

Jessica Frye, AICP, Housing Initiative Manager

City of Orlando Housing and Community Development Department

Nicolas Thalmueller, AICP, Planning Administrator

Orange County Planning Division

Turn static files into dynamic content formats.

Create a flipbook
Issuu converts static files into: digital portfolios, online yearbooks, online catalogs, digital photo albums and more. Sign up and create your flipbook.
Planning Academy 101 | Zoning and Lande Development Codes by APA Florida - Issuu