GH - September 2022

Page 1


New thrips, new problems

Thrips parvispinus intercepted in Ontario | 12

Disease detection tool update

An update on greenhouse biomonitoring technology introduced in 2021 | 18

Fifty years of flowers

Ontario Flower Growers Co-operative Ltd. marks its 50th anniversary this October | 60

SEPTEMBER 2022

greenhousecanada.com

Pest and disease survey

Vineland’s Biological Crop Protection research team surveys growers every four years, providing a snapshot of the pest and disease challenges faced by Canadian greenhouse growers. Image: Vineland Research and Innovation Centre. Pg. 22

Editorial 4

Industry News 6, 8, 10

New thrips, new problems 12 Thrips parvispinus intercepted in Ontario.

Disease detection tool update 18

An update on greenhouse biomonitoring technology introduced in 2021.

CGC Preview 43

Fifty years of flowers 60

Ontario Flower Growers Co-op adapts and survives.

Energy curtain advantages 66

Five important advantages of energy curtains in your commercial greenhouse operation.

Inside View 78

A snapshot of pest and disease challenges faced by Canadian greenhouse growers. See page 22. Photo: Vineland Research and Innovation Centre.

Something in the water Filtering and disinfecting recirculated irrigation.

Advantages of using natural products and early detection.

Food box programs

Considerations to see if Community Supported Agriculture is a fit.

The eternal struggle of pest and disease management

As I read about the kinds of challenges that greenhouse growers have to overcome to ensure your crops and businesses’ bottom lines remain healthy, I tip my hat to all of you!

From labour shortages to pest and disease management, spiking energy costs, supply chain issues and managing through a global pandemic, you’ve certainly got your hands full.

While some of these issues will hopefully become easier to navigate as we put the COVID-19 coronavirus pandemic in the rear-view mirror, challenges like pest and disease monitoring and management will, of course, be around forever.

For members of the Canadian floriculture industry, results from the latest grower survey by the Vineland Research and Innovation Centre have been released. The survey, which reaches out to dozens of growers across multiple provinces within the Canadian floriculture industry every four years, offered some positive trends.

The report states that growers are continuing to adapt their Integrated Pest Management (IPM) programs to manage new pests, and test new products while re-evaluating old strategies.

For all the details on the survey, turn to page 22.

Another story in this issue related to Integrated Pest Management programs, is about the introduction of a new species of thrips that has found its way into Ontario.

Thrips parvispinus (T. Parvispinus) were recently found in crops in the Niagara Region and Leamington in the fall of 2021 and the spring of 2022.

This discovery was confirmed by the Canadian National Collection of

Insects, Arachnids and Nematodes at Agriculture and Agri-Food Canada using DNA barcoding.

The species has been previously found in Florida, as well as some countries in Africa.

This article tackles the facts about T. Parvispinus, the potential threat it currently poses in Canada, and what to do if you suspect the insect is on your farm.

For all the details on this story, turn to page 12.

On the innovation front, Greenhouse Canada was able to speak with Harvest Genomics to get an update on the company’s disease detection technology introduced in 2021 for the detection of viral plant diseases such as tomato brown rugose fruit virus (ToBRFV). The results to date are quite positive and the company is expanding the scope of its technology.

To read more about this story, turn to page 18.

If you’re looking to learn more about the latest pest and disease management practices and technologies available in the marketplace, I suggest you check out the Canadian Greenhouse Conference taking place on October 5 and 6 at the Niagara Falls Convention Centre in Niagara Falls, Ont.

Themed “Onward,” the conference will offer attendees sessions on pest and disease management, water management, lighting ornamentals, lighting and abatement, energy storage and reduction strategies, a variety of workshops, and much more.

For all the details about the upcoming conference, turn to page 43.

I’m looking forward to interacting with members of the greenhoue industry and our readers at the show.

Hope to see you in Niagara Falls!

New study shows bees boost crops and could steady food prices

Scientists at the University of Reading analyzed years of data on the poorly understood effect of pollinators on crop yield stability. They found there was 32 per cent less variation in the yields of plants visited by bees and other pollinators than those grown in absence of pollinators.

The study, published in the journal, Ecology Letters, suggests that pollinators can help to mitigate supply issues and market shocks that cause global price spikes, like those being seen this year, by holding food supplies steady.

The new research combined the results of more than 200 previous experiments which compared the yield of crop plants with and without insect pollination. The study focused on three globally important and representative crop species: faba

bean, oilseed rape and apples.

The study tested the effects of pollination on yield stability within individual plants and fields as well as across larger spaces. Insect pollination consistently made yields more similar between flowers on a plant, between individual plants, areas within fields, or between fields.

The stabilizing effect of pollination is thought to be due to a ceiling effect, whereby the yield increase resulting from insect pollination hits an upper limit due to limitations of other resources that support crop growth such as soil nutrients or access to water. This creates a raised and more stable baseline against which there is less fluctuation in yield.

– Source: University of Reading.

PURE FLAVOR TO EXPAND ORGANIC ACREAGE AND DISTRIBUTION CENTRE

After tripling the company’s acreage on its home site in Leamington, Ont. over the last two years, Pure Flavor has begun construction of a new 40-acre high-tech, fully lit facility as well as a new 210,000-sq.-ft. centralized pack-house distribution centre.

“Our year-over-year growth has prompted us to rapidly increase our acreage and distribution network to meet the needs of both our retail and foodservice customers”, said Jamie Moracci, president of Pure Flavor.

The new facility is

BY THE NUMBERS

expected to be completed in late fall 2022 and covers 115 acres of lit greenhouse vegetable production that will be growing year-round.

“It’s clear that consumers recognize the value of a highquality organic product grown in a controlled environment,” said Tiffany Sabelli, director of sales. “With Pure Flavor greenhouse grown organics, consumers can have peace of mind knowing exactly how their food is grown while also enjoying consistent quality and amazing flavour.”

Greenhouse producers’ operating expenses in 2021. Source: Statistics Canada.

NEW MS-120 topcoat

Q&A: A conversation with Vineland’s Darby McGrath

Vineland has named Darby McGrath as its new vice-president of research and development

Vineland Research and Innovation Centre (Vineland) recently appointed Darby McGrath as its vice-president of research and development. In her new role, McGrath will guide the direction of Vineland’s innovation portfolio to maximize real-world impact with a team of more than 50 scientists and technicians.

Greenhouse Canada recently had the opportunity to speak with McGrath and ask her about her current and future goals.

Please start by telling me a little about yourself, your background, and what led you to Vineland?

I’ve been at Vineland for almost 10 years now. I started in 2013, as a research scientist, and worked my way up to a senior research scientist and a program leader. It’s a bit of a mixed bag, I’m a restoration ecologist by training with a focus on sustainability policies – how to implement

ABOVE

those things in the real world. And so, when I started 10 years ago, it was really to fill a need on how to properly use green infrastructure in our landscapes, and how to deliver on the growing demand that we’re seeing from both private users and the public sector. So, a lot of my research portfolio has focused on the challenges and opportunities of using plants as living green infrastructure, but also with a significant focus on plant production.

What sparked your interest to take on the role of vice-president of R&D?

Having worked here for as long as I have, I see the impact and benefit from the work that we do at Vineland every day. I see it in the landscape. I see it in greenhouses and nurseries, and on farms. My greatest passion is to watch and mobilize change. It’s not just finding the projects and solutions on the research side, but really focusing on the

Darby McGrath has been working at Vineland Research and Innovation Centre for close to a decade as a research scientist and program leader for a variety of projects.

PHOTO: VINELAND.

innovation portfolio that we can deliver to the horticulture sector. And so, when this position came up, I was very excited. We’re at such an important juncture right now for Canadian production systems with respect to things like climate change – and we’re not just looking at adaptation, but mitigation strategies. This research and development role really gives me the chance to think about this innovation portfolio from a strategic perspective. And while I love contributing to it at the research program level, I’m really excited about the chance to hold it all together with this amazing group of scientists.

Do you have any specific projects in mind or specific targets and goals that you want to tackle first?

LEFT

McGrath says climate change will change the landscape in terms of which plants will survive.

dial in on what we can deliver to our stakeholder network in this environment.

Do you see yourself working on anything specific to helping the growers with their labour issues, which seem to be constantly increasing?

Yes, absolutely. Where there’s a lot of really solid R&D work already happening is on labour savings and labour efficiency. I think it goes without saying that we will absolutely continue to look at how we can support that through bottomintegrated, automated solutions. So, helping growers actually figure out how to incorporate these things into existing systems such as retrofitting, but also looking for those new and novel ways of automating technologies or processes that will allow us to remain competitive when the labour market is so uncertain.

When it comes to pest management and managing viruses and diseases in various plants, how challenging is that these days? Do you see that changing in the future?

We need to consider how production systems are going to have to adapt to what we’re facing with climate change.

I don’t think anyone will be surprised by the fact that we really need to be thinking about climate change adaptation, such as technologies that help us towards greater efficiencies in our production systems. Recently, there has been a lot of consideration around supply chain challenges on the food security side, but also on the materials and production sides. We also have to think about climate adaptation from a crop perspective. We need to consider how production systems are going to have to adapt to what we’re facing with climate change. We’re also growing different kinds of crops and different cultivated varieties that allow us to manage those changes and remain competitive in the global marketplace. I think we’re going to really need to

It’s always challenging. Growers have one of the most stressful jobs because of these types of challenges. And you can only control your sphere of influence, which is really your own production system. So, we’re absolutely reliant on getting good information in terms of production systems to be able to forecast those changes. And then ultimately, there’s a significant effort that is required in staying current with the challenges we’re faced with now and how we tackle them. Some of that is going to be the kind of research that we’ve already undertaken. Climate change will certainly change the landscape in terms of which plants will survive and which pests and diseases we’ll be faced with. This new environment will be more hospitable for some and less hospitable for others. So, we really need to have a good understanding of this situation and remain cognizant of what the global landscape looks like. The solution lies with new technologies that we’re developing now and best practices on how to adapt to those challenges as they continue to evolve.

PHOTO: VINELAND.

NEW THRIPS, new problems

Thrips parvispinus intercepted in Ontario

Increases in global trade, along with decreased use of harsher broad-spectrum pesticides makes it easier for insect species to move around the world. Because of this, it is becoming more common to find usual pests coming in on plant material. This is exactly what happened at two greenhouses this year that discovered they had the tropical thrips species Thrips parvispinus in their crop after spotting unusual damage.

Whenever a new species pops up, it’s important to stay informed and know what to do if it should make an appearance in your greenhouse.

ABOVE

THE NEW DETECTION

Two isolated incidences of T. parvispinus were intercepted on crops in Niagara and Leamington in the fall of 2021 and the spring of 2022. As this species has been previously detected in Florida and countries in Africa, it is likely that this species came in on imported plant material.

Identifications were confirmed by taxonomists at the Canadian National Collection of Insects, Arachnids and Nematodes (CNC) at Agriculture and Agri-Food Canada (AAFC) in Ottawa, using DNA barcoding. This level of careful identification

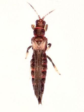
Female T. parvispinus is generally dark coloured (though the head and thorax can be lighter than the abdomen), has bright red ocelli and clear patches at the top of its wings. Male T. parvispinus are yellow, and more closely resemble more common thrips such as onion thrips (T. tabaci). Both males and females are small (females: up to 1mm long) relative to western flower thrips (up to 2mm).

PHOTO BY A. SUMMERFIELD.

LEFT

Figure 2. Damage from Thrips parvispinus causes heavy brown streaking on leaves, leaf distortion, and new leaves may not emerge properly.

is necessary for first finds of any new species in a country or region to prevent misidentification.

The Canadian Food Inspection Agency (CFIA) then was notified by CNC-AAFC of the new record; this is required under Canadian regulations so early mitigation and eradication efforts can be taken for new pests to protect the industry, if necessary.

After notification, CFIA determined it was not necessary to take action at this time. This is similar to the first interception of chili thrips (Scirtothrips dorsalis) in Canada in 2018, where CFIA was satisfied as long as appropriate eradication efforts were taken. Thrips parvispinus is also generally considered to be a low pest threat and was taken off the European and Mediterranean Plant Protection Organization (EPPO)’s Alert List in 2001.

FACTS ABOUT T. PARVISPINUS

Host plants: Like most thrips, this species can feed on a wide range of host plants. New invasions in Europe and North America have generally been intercepted on tropical plants, such as Mandevilla, Dipladenia, Gardenia, Anthurium, Hoya, Orchids, Ficus, Gerbera and Schefflera. In its native range in Indonesia and Thailand, it is also a pest of many vegetable and fruit crops including peppers (especially chilli), tobacco, eggplant, and strawberry. Therefore, these crops should also be scouted for unusual thrips species or thrips-like damage, especially if grown in the same greenhouse, propagation facility, or garden centre as tropical plants.

Damage: Thrips parvipsinus leaves feeding scars on foliage and sometimes fruit. However, this damage can appear much darker than the usual “silvering” we are used to with western flower thrips. Along with heavy deformation of new growth, they cause extensive brown scarring on foliage of tropical plants. Their damage may be mistaken for extreme broad mite damage. Feeding seems concentrated on new growth.

Current known distribution: Its known distribution includes Indonesia, Thailand, Australia, the Phillippines, Taiwan and Hawaii, with isolated populations in India, Tanzania, Uganda. Records of interceptions have been recorded in Florida, Netherlands, Spain, Greece, Germany and France.

Risk of establishing in Canada: As a tropical species, it cannot survive winters outdoors in Canada, but could become resident within greenhouses if eradication measures are not taken.

WHAT TO DO IF YOU SUSPECT T.

PARVISPINUS

IS

ON YOUR FARM: Remember – if you hear hoofbeats, don’t assume it’s zebras! If you see a dark coloured thrips in your crop, it’s most likely you actually have a thrips species that is already common in Ontario (see Figure 3).

To help you determine if you do have a zebra in your greenhouse, the newest edition of OMAFRA/VRIC’s Thrips Identification Key for Growers now includes this species (you can find this key on the ONFloriculture.com blog). If you’ve gone through this key and think you might have T. parvispinus, have the identification confirmed by an OMAFRA specialist, or send them directly to the CNC lab in Ottawa. Unfortunately, T. parvispinus looks very similar to a species called Japanese flower thrips (T. setosus). These two species can only be properly distinguished using a compound microscope at 400x magnification, and most consultants won’t have access to this.

After confirming the identification, work with an OMAFRA specialist or IPM consultant to determine the appropriate course of action to control this pest.

CONTROL OPTIONS FOR T. PARVISPINUS

Biosecurity measures are designed to prevent, minimize and control the introduction and spread of plant pests at the farm level. (For more information on developing a biosecurity plan, check out the Floriculture Sector Biosecurity Guide on CFIA’s website). Scouting your incoming plant material for pests is a key part of practising biosecurity, and is especially important for plant material coming from parts of the U.S. (e.g. Florida) and other countries where T. parvispinus has already been detected. Growers may also want to consider

implementing dipping programs for tropical cuttings in soaps, oils or BotaniGard, similar to chrysanthemum/ poinsettia cuttings, to lower the risk of bringing in tropical thrips species. However, different plant species and varieties should first be tested for phytotoxicity before full-scale dipping procedures are implemented.

If you find T. parvispinus on your farm, there are some control strategies you can implement. However, little research on this species has been published, so it’s important to know that best management practices to control T. parvispinus are still being developed. OMAFRA is currently gathering information from other countries, and we are hoping to speak with growers who may have encountered this pest to gather more information on what works best.

If you find T. parvispinus on your farm, there are some control strategies you can implement.

As we’ve learned with onion thrips (Thrips tabaci) and Echinothrips, the biocontrol strategies that work for western flower thrips may not be as effective on other thrips. Anecdotally, however, T. parvispinus populations seem to be suppressed in tropical plants with high rates of predatory mites (think Cucumeris and/or the new Canadian predator, Anystis), but this needs further testing to determine the level of control. Anecdotal reports from pepper crops also suggest that a combination of predatory mites and Orius provide good control.

Other options for cooler-grown crops (such as tropical plants grown over the winter months) could be the predatory bug Dicyphus and the predatory mite Limonicus, both of which operate better at lower temperatures than other natural enemies.

On the pesticide front, one laboratory study indicated that T. parvispinus are susceptible to Success (Spinosad), but not to the neonicitinoid Tristar (acetamiprid). This study has been confirmed in the field – the operation with the first incidence of T. parvispinus was able to get on top of the issue with several

Echinothrips americanus.
Frankliniella fusca.
Thrips tabaci light and dark morphs.

drenches of Success before shipping.

Drenching Success, rather than spraying it, can be less harsh on your predatory mite population, allowing them to work in concert. You may want to consider tank-mixing Success with another pesticides that suppresses thrips feeding (to help stop damage ASAP), such as Beleaf or Ference. Both of these pesticides are also soft on predatory mites, but are unlikely to fully control thrips populations on their own.

Other pesticides that generally show good efficacy for thrips other than western flower thrips include Pylon, Avid, Kontos and Orthene. However, these pesticides are notoriously hard on biocontrol agents, and have moderateto-long (3 to 12 week) residual times. Because of this, they should be applied in a separate area to prevent long-term effects on biocontrol in the growing compartment, or only on crops where biocontrol is not regularly used.

Because this species is on the USDAAPHIS “Pests of Concern” list, eradication with pesticides should always be attempted before shipping plants to the

Eradication with pesticides should be attempted before shipping plants

U.S. Scouting should be done before and after applications to make sure pesticides were effective.

If you think you might have T. parvispinus on your farm, please contact Sarah Jandricic at sarah.jandricic@ ontario.ca.

Sarah Jandricic is the Greenhouse Floriculture IPM Specialist for OMAFRA. Ashley Summerfield is the Senior Research Technician in the Biocontrol Lab at the Vineland Research and Innovation Centre, and recently completed her M.Sc. from the University of Guelph on the biocontrol of onion thrips.

Growing is your business. Protecting it is ours!

Since 1963 we have been providing high quality insurance protection to our clients from coast to coast. Experienced, local service is available through our national network of offices.

For a quality product, local service and very competitive pricing give us a call today.

Disease detection tool update

An update on greenhouse biomonitoring technology introduced in 2021

A reliable, fast and inexpensive way to detect viral plant diseases like the tomato brown rugose fruit virus (ToBRFV) on plant leaves and other greenhouse surfaces sounds like a dream, but it’s already a dream come true – and developed right here in Canada.

ToBRFV (rugose) is of particular concern for greenhouse growers around the world as it’s a serious disease that has spread quickly since its first appearance in 2014. As we explained in our report last year, before this new technology from Ontariobased Harvest Genomics was available, greenhouse growers were faced with expensive, potentially inaccurate tests, and in general, longer wait times.

To test the effectiveness of their sanitation procedures and/or new sanitation products, growers had to submit plant samples to Europe for PCR testing. A positive PCR test, which targets only a tiny portion of the virus genome, could

ABOVE

signify a virus is present, but these tests (about $100 each) are also prone to false positives that can lead to unneeded losses for producers. A negative PCR test could be accurate but also could be inaccurate in the sense that the test could be faulty or because there wasn’t enough of the pathogen present to test.

With a positive PCR test, additional bioassays (less than $100) to test for virulence and/or sequencing are required to confirm the virus identity (sequencing costs about $1,000 per sample but it’s free from the Canadian Food Inspection Agency). All in all, it takes anywhere from a few days to over a week to get results using these technologies.

In addition, plant tissue samples were the only option – testing surfaces was pretty much impossible because they generally only have trace levels of viruses.

During his early days with Harvest Genomics, Rémi Maglione developed a proprietary method of taking samples from plant tissue but also from swabs of greenhouse surfaces for ToBRFV and other viruses.

NEW TECHNOLOGY

During his early days with Harvest Genomics, co-founder Rémi Maglione developed a proprietary method of taking samples from plant tissue but also from swabs of greenhouse surfaces (plant leaves and more) for ToBRFV and other viruses.

The Harvest Genomics rugose testing then runs samples through a small genetic sequencing device made by a British company named Oxford Nanopore. The company has results back to clients in two days at about $150 per sample.

In 2021, Ontario Greenhouse Vegetable Growers partnered with Harvest Genomics (in collaboration with Cara McCreary, greenhouse vegetable IPM specialist at the Ontario Ministry of Agriculture, Food and Rural Affairs) to test the technology. Using comparisons with conventional testing technology, they found the Harvest Genomics system to be completely accurate.

PROGRESS IN 2021

About 3,000 tests for ToBRFV were done last year by Harvest Genomics for greenhouse operations across Canada and the United States. “That represents swabs from about 30 to 40 greenhouses,” Maglione says. “Some of the tests were done for IPM managers who manage several farms. The tests help greenhouse operators to monitor new virus outbreak, virus variants, make sure cleaning processes are working and also enable them determine whether a new cleaning product is working. This year we are doing from 100 to 200 tests a month, and will likely close the year with about the same total as last year.”

There was a huge number of tests to process last year in August, the month when greenhouses operators typically do

their annual clean-out. This pushed Maglione and his team to streamline and change protocols to deal with the volume surge and he says they are ready for an even larger surge this year.

PORTABLE PLATFORM

In April, BioEnterprise Canada bestowed $40,000 to Harvest Genomics to further develop a portable version of its tech. This means that eventually, the system will be able to be purchased and used by greenhouse consultants or by greenhouse operators themselves. It will also open up new possibilities for researchers.

A lot of progress on the portable platform was made last year. Harvest Genomics CEO and co-founder Chris Grainger worked with OMAFRA and the Ontario Potato Board to extend the concept of portable DNA sequence-based testing for identifying variants of Potato Leaf Blight captured on spore-trap devices placed in potato fields.

By the end of this summer, it’s expected that the platform will be ready for real-life testing in greenhouses, and that it will be ready to market by the end of the year.

The BioEnterprise funding will also be used to develop new tools for sample collection from the air. As reported in a University of Quebec at Montreal article last year, Maglione said: “I imagine a greenhouse equipped with a multitude of bio-sensors that can detect the presence of micro-organisms in the air, and thus signal the appearance of a new disease even before the human eye is able to detect it. Detect the first symptoms on a plant,” explains the doctoral student. “A grower could immediately know which plants are infected and he could remove them before they contaminate others.”

Bacteria in the air will be the first focus for air detection, and several Quebec cannabis producers (names not available at this point) have agreed to participate in that type of sampling technology development. This project involves capturing the whole microorganism community, pathogen, neutral and beneficial organisms, but in the future, this technology could be used to monitor every known pathogen present in the air.

EFFECTIVE

Preventative and Curative activity on Powdery Mildew and Botrytis, comparable to conventional products

UNIQUE

A novel Group M Fungicide (BM01) with perfect fit in IPM programs

SAFE

0 PHI, 0 REI, 0 MRL, No impact on beneficials Biological Fungicide Talk to your local Bartlett Representative or Retailer about Problad.

And just at the end of June 2022, Maglione developed a way to increase the virus fraction in the water in order to detect water-borne viral diseases in greenhouses and other settings. “It’s working well,” he says. “I have also developed a protocol to test fabrics, clothing or coveralls worn in greenhouses for example, to see if they are contaminated.”

POTENTIALS ABOUND

Other agri-food applications for this sampling technology include soil and seed testing, many food safety scenarios and the very serious issue of resistance to herbicides. Indeed, the first Harvest Genomics service was testing weeds for genetic mutations related to herbicide resistance.

The technology could also be used to sex plant seedlings, do genetic mapping and test seedlings or livestock for various genetic markers to allow faster selection in breeding programs and for many other purposes.

Harvest Genomics is currently working on testing for “a new pepper disease,” but cannot say more at this point.

It’s clear that the possibilities for Harvest Genomics technology really are endless, from countless human and veterinary medicine applications to prevention of food product fraud and global biosurveillance of emerging pathogens.

But with regard to the greenhouse sector at this point, Maglione says, “I’m thrilled to help growers alleviate their economic losses by providing them the most accurate ToBRFV testing on the market.”

ALL DAY & Play Plug

SUN

AI-powered smart LED grow light solution

Full spectrum output that dynamically recreates Sunlight from anywhere in the world. Solution Smart

Dynamic dimming and spectral compensation for energy efficiency Smart Power

Remote and real-time dynamic light control directly from growers ’ PC Management Smart

Design Smart

Unlimited dynamic lighting zones equipped with custom light recipes.

Cleantech Breakthrough

Productivity increases

Energy savings

Resiliency - Longer Product Shelf Life

Reduced Maintance Cost (up to 40%)* (more than 40%)** (up to 75%)**

*Compared to LED **Compared to HPS

GOOD THINGS COME TO those who innovate

Results from Vineland Research and Innovation Centre’s recent grower survey

BELOW

Vineland surveys growers providing a snapshot of the pest and disease challenges faced by Canadian greenhouse growers.

Vineland Research and Innovation Centre’s (Vineland) grower surveys of the past eight years indicate that the use of biocontrol in Canadian floriculture greenhouses is still increasing. But it’s not just more of the same – each new survey reveals how growers continue to adapt their Integrated Pest Management (IPM) programs to manage new pests, test new products and re-evaluate old strategies.

Vineland’s Biological Crop Protection research team surveys growers every four years, providing a snapshot of the pest and disease challenges faced by Canadian greenhouse growers. The most recent online survey on greenhouse ornamentals received 47 responses across four provinces between January and March, 2022. Most responses were from Ontario, and represented around 24 per cent of the floriculture greenhouse acreage in the province. Respondents were wholesale, propagation and retail growers, cultivating 50 unique primary crops, reflecting the wide diversity of the Canadian floriculture industry.

POSITIVE TRENDS:

WHERE WE ARE, WHERE WE’RE GOING

As we look at the trends between surveys over time, we get a good picture of where the industry is heading (Hint: We like what we see!). Biocontrol use has been consistently high over the last two survey periods. Nearly all survey respondents report using at least some level of biocontrol for pest management. In 2022, we found the majority

of growers have adopted an IPM program that is mostly based on the use of biological control agents.

While the number of growers using biocontrol for pests may not have changed much since the last survey, the extent to which they use it has. Around two-thirds of growers reported using more biocontrol and decreasing their use of pesticides in the last five years. This continues the trend seen in previous surveys.

The motivations for using biocontrol were similar over the years. For example, pesticide resistance was the main reason growers used biocontrol in both 2018 and 2022. Growers also continue to value both the low-to-no restricted entry interval (REI) and the better worker health and

safety offered by biocontrol. More than half of growers also cited better efficacy and the loss of access to certain pesticides among their reasons. One motivation is on the rise: nearly a quarter (23 per cent) of 2022 respondents (up from 14 per cent in 2018) said they use biocontrol because of concerns for pollinators’ health.

SAME AS IT EVER WAS

Some aspects of IPM are more consistent than others and the top pests and diseases have proven that they’re here to stay.

The same diseases causing the most trouble in previous surveys topped the list again in 2022. Fungal leaf spots and blights such as Botrytis were the most common diseases for 30 per cent of growers. Over

LEFT

The majority of growers use an equal or greater amount of biocontrol compared to conventional pesticides.

three quarters of those growers were happy with their IPM program for these diseases. One quarter of growers surveyed listed powdery mildew as having caused the most crop losses in their operation (average of 5.7 per cent loss). Generally, growers expressed confidence in their ability to control disease pressure through proper growing climate and good watering practices.

As for pests, thrips have reliably taken the top spot year after year. Thirty-four per cent of growers surveyed singled out thrips as having caused the most crop losses in their operation (average of 6.4 per cent loss). Thrips were also the most common pest, reported by 42 per cent of growers.

While the fact that thrips are the top pest hasn’t changed, how they are affecting growers has. Since the last survey in 2018, growers’ satisfaction with their thrips IPM programs has fallen from 61 per cent to 47 per cent. At the same time, nearly 60 per cent of growers are reporting thrips outbreaks have become more frequent or severe within the last five years.

EXPERIMENTING THEIR WAY TO SUCCESS

Over the past two years, growers have shown an incredible ability to adapt quickly to changes, but this is not a new phenomenon. Things are constantly changing in IPM. There are always new products, techniques or technologies for growers to try. A big part of the reason Canadian floriculture growers are champions of biocontrol is their willingness to experiment (we have that in common!). With so many different tools at their disposal, it can take some trial and error to find the optimal strategy for each operation.

Nearly all survey respondents said they would be willing to try a new predatory insect in their greenhouse. How well a new biological control agent or strategy works will ultimately determine if growers stick with it.

In the past, our laboratory conducted research on dips to manage whiteflies and thrips on imported cuttings, resulting in label expansions for Kopa, BotaniGard WP, SuffOil-X and Landscape Oil. Among survey respondents who grow their plants from cuttings, 73 per cent use dips. This

Grow with the pros

“Several years ago, I traveled to Delphy in Holland and it opened my eyes to the idea of using LED technology for winter production. We decided to go with the best on the market, Philips LEDs. In 2020, we installed Philips LED toplighting over our cucumber crop and Philips toplighting and a single row of Philips interlighting in our tomato crop. The production forecasts have worked out exactly as Signify predicted with a 40% increase. And growing under LEDs took out the peaks and dips in our production. We are very satisfied with the results of growing under Philips LED lighting.”

Ho rt iculture LED

proportion remaining virtually unchanged since the last survey (74 per cent) indicates growers have found this strategy to be effective and easy to implement. Not all new practices are as successful. The number of growers using biocontrol for disease increased dramatically between 2014 and 2018, but fell again by 2022. About half (47 per cent) of the growers surveyed in 2022 are using biocontrol for diseases, which is a steep decline from the 70 per cent who reported they did so in 2018. This isn’t just because different

growers responded to our surveys – 21 per cent of respondents said they have used biocontrol for diseases in the past but do not any longer.

Similarly, while half of respondents say they use nematodes, like Steinernema feltiae, to manage soil pests, another 32 per cent say they don’t anymore. Many of the reasons for no longer using nematodes center around implementation; they found nematodes too difficult to use, incompatible with other applications, or their growing practices/crop made

ABOVE

Revolutionize young plant production with Jiffy Flexistart

Flexistart is an enriched substrate that transforms from a loose fill mix into a stabilized plug by adding water. It offers proven performance in material, plug, and crop handling, with results that optimize labor efficiencies. Its flexibility is unmatched: It works with most flat filling equipment, tray size, seeding or sticking method, and transplanting machinery.

About two-thirds of respondents report using diagnostic services to identify diseases.

nematode applications impractical. Some growers found soil dwelling predators such as Atheta (=Dalotia) coriaria and Stratiolaelaps scimitus (=Hypoaspis miles), or microbials (e.g. Beauveria bassiana) more suitable.

KNOWLEDGE IS POWER

The proper identification of pests and diseases goes a long way towards formulating an IPM program that will work. About two-thirds of respondents report using diagnostic services to identify diseases. Two-thirds of survey respondents also said they have used a dichotomous key and a microscope to identify their thrips to species, or have had their thrips identified by a professional. This shows how willing growers are to incorporate new ideas. We only recently learned that there are more than just western flower thrips affecting floriculture crops. Growers most commonly see western flower thrips (80 per cent) in their greenhouse, followed by onion thrips and Echinothrips, each reported by 30 per cent of survey respondents.

Another important key to success is knowing when to ask for help. The majority (75 per cent) of growers report using an IPM consultant. Trying to navigate through all the new and existing biocontrol options is tricky, and consultants can help tailor an IPM strategy to suit the unique needs of each facility.

BETTER QUALITY AND YIELD GUARANTEE

Truly 100 bar (1450 psi) high pressure fogging for breeding, potted plants, cut flowers, soft fruit and vegetables to have humidity control and to reduce crop stress.

MJ-Tech North America Inc. 38 Seneca Rd, Leamington, ON N8H 5H7

There’s no better way to grow.

You’re in the business of growing. We’re in the business of helping you do it as efficiently and productively as possible, by providing the best horticultural technology, services, and solutions. From cultivation optimization to drip irrigation and growing systems, learn why Growtec is simply a better way to grow.

38 Seneca Rd, Leamington, ON N8H 5H7

FORWARD, TOGETHER

When asked how floriculture growers prefer to learn about new production and IPM practices, one of the top answers is “other growers.” This spirit of collaboration and openness, along with a willingness to experiment, have served Canadian floriculture growers well in the past and will continue to do so in the future.

Between increasing global trade, climate change and a move away from conventional pesticides, there are sure to be more and different pest and disease challenges on the horizon. New products will be developed, as older chemistries are no longer effective or available. An increasing number of growers are appreciating the importance of environmentally-conscious growing

LEFT

Between increasing global trade, climate change and shifting from conventional pesticides, there will surely be more pest and disease challenges on the horizon.

practices and the protection of pollinators. Canadian growers will continue to experiment, innovate and collaborate. We have no doubt this industry has what it takes to handle whatever challenges come its way.

The 2022 survey was supported by the AgriScience Program under the Canadian Agricultural Partnership of Agriculture and Agri-Food Canada. We thank the ornamental growers for their participation. Looking for data on pests and diseases in Canadian vegetable greenhouses? Help us build our dataset by completing the vegetable grower survey. Scan the QR code to access the online version.

How to control greenhouse pests using natural products

ABOVE

Although greenhouse pests are predominately plant-related pests, structural pests are still a major threat to greenhouses.

Pest management is a vital component in keeping your greenhouse plants healthy. However, readily available food, warmth and moisture in greenhouses allow rapid development of pest populations. Early detection is important before the problem gets out of hand, or else your brand may be tarnished or face recalls, liabilities and, if the problem is big enough, even economic loss. Although greenhouse pests are predominately plant-related pests, structural pests are still a major threat to greenhouses; therefore, you should know what to look out for and have a plan in place.

IDENTIFYING THE CORRECT CULPRIT

There are several common pests that wreak havoc inside your greenhouse:

Aphids: These tiny, soft-bodied, pear-shaped insects are one of the most common pests in greenhouses. They cluster in colonies on the leaves and stems of host plants, inserting their beaks to extract plant sap. This extraction stresses the plants and weakens them, causing their leaves to curl and become deformed. Aphids also transmit pathogens that cause plant diseases. Because they have fast reproductive rates, their population can grow rapidly in a short time, exceeding economic-injury levels. Therefore, monitoring, early detection and a quick start to treatment is crucial for effective control.

Fungus gnats: These tiny black flies cause direct damage to plants. Besides being nuisances and physical contaminants, adult gnats are not harmful, it is the larvae that feed on plant roots causing root

New peppers for 2022

Rijk Zwaan is pleased to launch Guintoli RZ and 35-BY1471. These new varieties bring large size and a bright colour to the Rijk Zwaan lineup. With an open plant habit and high quality fruit, they are a win for the grower and consumer.

Sharing a healthy future

35-BY1471 RZ

Guintoli RZ

Red blocky pepper

• Very high producing red blocky pepper variety

• Fast developing fruit

• Strong against BER

For more information contact:

35-BY1471 RZ

Yellow blocky pepper

• Large yellow blocky fruit suitable for bulk sales

• High quality fruit

• Open and generative plant habit

Pepper Crop Specialist, Bradley Breedveld | b.breedveld@rijkzwaan.com

Fruit Crop Specialist, David Janik | d.janik@rijkzwaan.com

RZH Director of Sales, Max Saad | rzca@mnsi.net

Rijk Zwaan Canada & USA www.rijkzwaanusa.com

Guintoli RZ

damage severe enough to kill the plants. They also interfere with callus formation, causing damage to cuttings and affecting the growth of plants. These pests thrive in damp conditions, especially in soils or planting materials rich in organic matter such as decaying plant matter.

Slugs: These fleshy, slimy animals usually wreak havoc when the humidity is high, so greenhouses are an ideal location. They often come out at night, preferring cool, moist hiding places during the day. They cause damage by feeding on the plants, producing holes, and scarring the leaf surface. Small seedlings, ripening fruit and vegetables are vulnerable to these creatures.

Rodents: Greenhouses provide the perfect habitat for these mammals. Inside they find ample supplies of food, water, and shelter. However, they can cause a lot of damage by feeding on germinating seed or seeking out young plants. Rodent populations can grow rapidly, that is why it is imperative to frequently check for signs of activity and take quick action. Not only do rodents transmit diseases, carry ectoparasites (fleas, tick, and mites), they can also cause significant structural damage by chewing on portions of your greenhouse infrastructure by damaging irrigation systems and causing fires when they chew on electrical wires.

Surinam cockroach: This burrowing species of cockroach usually has dark brown or black bodies with shiny brown wings. It thrives in dark, loose, moist soil or leaf litter, making a greenhouse an ideal habitat. This cockroach likes to hide during the day in cracks/crevices and soil and emerges at night to feed on plants, causing extensive damage to plants even killing them.

Australian cockroach: Known as the “greenhouse cockroach,” it is attracted to hot, humid, and moist areas. It is reddish brown in colour with a distinct pale yellow line on the outer edge of the wings at the base and looks similar to the American cockroach, only smaller. This insect can heavily infest greenhouses, where it feeds on tender plant parts, especially seedlings, causing significant damage to plants or/and killing them.

Ants: These critters enter greenhouses to feed on flower nectar or honeydew produced by aphids or generally to forage. Ants often bury plants in soil when building nests above ground, and they disturb the soil around the plants when forming nests underground. Species such as carpenter ants can cause structural damage.

GETTING RID OF PESTS USING ENVIRONMENTALLY-FRIENDLY PRODUCTS

Once you know which pests have invaded your greenhouse, it is time to get rid of them. However, how can you do that without

harming the plants? Fortunately, here are some ways you can treat them:

• Insecticidal soap is known as one of the safest treatments. It leaves no residue and can be non-toxic to your plants or harvest if applied per label requirements. The fatty acids in the soap will penetrate the pests’ outer covering, killing them. One word of caution: do not use the soap in high temperatures since this can burn or stress plants.

There are also several sprays that help combat pests. However, inside of a greenhouse, you want safe products that will not affect the greenery. Here is a list of safe products that can be used to combat pests:

• Bacteria spray (Bti) registered for greenhouse use is host specific and will not harm people or greenery. It is sprinkled or sprayed on the plants and eaten by the pest, which disrupts the insects’ digestive system. Unfortunately, this spray can also kill some of the beneficial insects within your greenhouse, so use it only when necessary, with caution strictly following label directions.

• Neem spray comes from the fruit seeds of the neem tree. When sprayed onto plant leaves or on the insects directly, it disrupts development and feeding. When used as oil spray, it blocks pests’ breathing pores-spiracles. The product is most effective on immature insect pests.

• Boric acid and Diatomaceous Earth: These are considered “Green” insecticide and can be used in dry parts of your greenhouse for ants and crawling insects including cockroaches. They are safe if applied per label instruction. It sticks to pests as they crawl, and the insect ingests it when attempting to clean itself. The treatment disrupts digestion and a pest’s nervous system.

GOOD BUGS VS. BAD BUGS

As you search for natural pest management options, consider the use of beneficial insects. They are one of the most eco-friendly options available. In addition, when used in greenhouses, they are very likely not to come in contact with humans to bite or sting.

Ladybugs eat both insects and pollen. Attract them inside your greenhouse with flowers. They are also commercially available and can be ordered and stored in the refrigerator for several weeks before releasing them into the greenhouse. It is best to wait until evening to release them since they may fly away if released during the day due to heat.

Praying Mantis are available to purchase by the case, with each one hatching up to 400 nymphs. They will eat any insect they can catch and are effective in keeping down insect pest populations in horticultural systems.

Parasitic Wasps are tiny, non-stinging wasps that lay eggs inside developing stages of more than 200 species of harmful insects, thereby killing and controlling them naturally. These wasps are not harmful to people or pets. Since they consume nectar and pollen, attract them to your greenhouse with a diverse array of single blossomed flowers and flowering herbs.

Although there is no guarantee pests will not invade your greenhouse, if you keep it well maintained both inside and outside, you will have a better chance of combatting pest infestations. Remember, a professional pest management company will work with you to customize a plan to fit your needs and will be able to help you find environmentally conscientious solutions to pest problems that arise.

Alice Sinia is quality assurance manager for regulatory and lab services at Orkin Canada.

The greenhouse

IPM and Yield Forecasting Platform

growers trust.

With ecoation, we can get to an infestation before it becomes a problem.

Ecoation pepper yield forecast has been consistently more accurate than my own forecast.

Mike Cornelissen, President . Twin Creeks Greenhouse

They speed up our IPM data digitization and accelerate our decision making process.

Bruno Medina, Phytosanitary Specialist . Fall Creek

Ecoation cut my IPM time to action from 10 days to 2 days. ecoation reduced our IPM cost by more than 20%.

High-quality data of ecoation help us to have a nice balance of the beneficials in the greenhouse and save on all the chemicals.

Steiner, Co-owner . Gemüsebau Steiner LLC

ecoation helped me reduce my pesticide application by 75%. OKO has been a great tool. I love it!

Jefferson Downton, Greenhouse Manager . Mucci Farms

Trusted by:

Why Use Soilless Plant Growing Media and Active Ingredients?

A Living Soil!

When you look at a landscape, you see plants, trees, birds, and insects, which is basically an ecosystem where the individual species interact with one another. When we look below the plant canopy and look at the soil, there is another vibrant and complex ecosystem. Visually less colourful, but so important for the sustainability of plant growth and the environment. Plant roots and the soil microflora and fauna allow plants to thrive by retaining water and nutrients, and provide other vital functions to the soil. However, to maintain a vibrant soil, the input of organic matter, composts, and plant residues are important for the microflora and soil organism diversity. If the biological activity is not sufficient in the soil, plants have difficulty accessing the nutrients they need. In a healthy ecosystem, it is estimated that 1 to 8 billion organisms can be found in a tablespoon of soil. But when soil lacks microorganisms, the decomposition of organic matter or other residues is less active, and less nutrients are released for plant growth.

In soilless growing media used for greenhouses or protected growing environments, the micro-organisms are equally important as in soils, and a good number of microorganisms are either naturally present or they are added to the growing substrate. However, one type that is essential, endomycorrhizal fungus, needs to be added to the growing media because it is not naturally present in soilless growing media. This mycorrhizal fungus interacts with all the other microorganisms involved in plants’ absorption of nutrients and resistance to environmental stresses and develops mutual relationships with the microflora.

Mycorrhizal Fungi

These fungi can explore fine soilless media interstices and access water and nutrients normally less available to plant roots. This allows better use of added fertilizers and helps reduce runoff which can result in a loss of fertilizer nutrients. Other plant stresses are tolerated better with this mycorrhiza, even in the greenhouse environment.

Other Organisms Associated With Mycorrhizal Fungi

Endomycorrhizal hyphae are long strings of cells that run throughout the media and exude important quantities of carbon derivatives, which will nourish bacteria and other microorganisms in the media. Some bacteria, for example, are capable of solubilizing forms of phosphorus in the root zone by producing organic acids or phosphatases, enzymes that break down phosphorus forms not assimilable by plants. This type of bacteria will not only be beneficial for plant growth, but in certain cases has a symbiotic relationship with mycorrhizae.

After years of research, these bacteria have been selected and are added as a biostimulant to growing media. As a team with mycorrhizal fungus, they work together, which provides plants with a three-part association, plant, fungus, and bacteria. The bacteria literally piggyback the mycorrhizal hyphae that extend in the rhizosphere. This symbiotic relationship benefits each partner, where the plants fix the CO2 from the atmosphere, thanks to the photosynthesis process, and share these carbon derivatives with the microorganisms, and/or stock the excess carbon in the soil. In exchange, the microorganisms provide the nutrients and other essentials to the plants.

TRIPARTITE SYMBIOSIS PLANT + MYCORRHIZAE + BACTERIA

The mycorrhizal fungi colonize the roots of the plant.

The plant gives carbon to the fungi.

The hyphae explore the soil/growing media and release carbon.

The bacteria absorb this carbon and multiply.

The bacteria release organic acids that solubilize phosphorus.

The plant absorbs the phosphorus, which stimulate the plant.

How This Tripartite Symbiosis Benefits Crops in Greenhouse Settings

When growing in a greenhouse or tunnel growing systems, the overall goal is to be able to start a crop in the colder months and get a good production of plants ready to plant in the soil in the spring when the weather is more favorable.

The use of soilless growing media provides a great way to grow plants in this environment. You get a crop grown even though the weather is cold outside, especially in the northern parts of the world. The environment in the greenhouse is easier to control than in the field, and, for years, fertilizers and other chemicals were the main inputs of growers.

In recent years, with the multiplication of types of plants grown and with the climate being more variable in the spring and fall months, plant shrinkage and losses are problems that are more frequent. Growers want a more uniform and resistant crop. Shelf life is important for plants at retail garden centers, and this requires plants that are more tolerant to various conditions. Return on investment is a key to success, but if plant quality declines and plants are disposed of, this means loss of profitability.

This has generated interest in the use of active ingredients, mycorrhizal and bacteria, to reduce plant stress, plant losses and to improve plant growth. The benefits can be variable, depending on the plants grown, but generally plant quality, shelf life and yields are increased.

So why use active ingredients in soilless media?

For many reasons, but the most relevant to horticulture after many years of testing are the following:

• Reduce shrinkage, better shelf life

• Improve crop uniformity and plant quality

• Improve yield

• Improve use of fertilizer applied, less loss of fertilizer due to runoff

• Reduce environmental stresses and transplant shock

Our numerous demonstration trials outline the type of benefits that can be observed with the Tripartite Symbiosis with Plants, MYCORRHIZAE™ and BIOSTIMULANT.

GREENHOUSE DEMONSTRATION — Ray’s Greenhouse — SITE: Telford, PA
42 days after planting crops in PRO-MIX® BX BIOSTIMULANT + MYCORRHIZAETM vs PRO-MIX® BX, plants are 20% taller, 23% wider and their fresh weight, dry weight and flower number significantly increased by 56%, 50% and 53%, respectively.

THERE’S SOMETHING in the water

Filtering and disinfecting recirculated irrigation in controlled environment agriculture

BELOW

UV system in a pepper greenhouse.

Most greenhouse and vertical farm producers use hydroponic growing systems to grow vegetables, cannabis, and other crops in controlled environment agriculture (CEA). This allows for great control and consistency in fertilizer delivery. To reduce wastewater, the root zone effluent (leachate) is collected and recirculated back to the crops. This results in significant savings for the producer through reduced water consumption and nutrient recovery. Greenhouse producers typically aim for approximately 25% of the applied fertilizer and irrigation (fertigation) solution to leach out of the root zone. This ensures adequate watering and avoids drought stress. Although an efficient use of resources, there are points of concern that must be taken into account. As the nutrient solution passes through the root zone, the plant takes up nutrients and excretes chemicals which change the composition of the nutrient solution. In order to recirculate the leachate, the nutrient levels, electrical conductivity (EC), and pH of the leachate must be readjusted before being fed back to the crop.

Another concern with recirculating nutrient solution is the potential for pathogen proliferation via the watering system. Over time, microbes can build up in recirculated water, including fungi, oomycetes, bacteria, and viruses. This can lead to development of root diseases caused by, but not limited to, Phytophthora and Pythium species. But not all microbes that live in recirculated water system are bad. Many are not pathogenic to the

crop and can in fact be beneficial by competing with pathogens (microbes that cause disease) for nutrients and living space. Further, there is emerging research to suggest that some beneficial microorganisms may also directly improve plant health and productivity (e.g., Rhizobacteria).

To avoid disease development, it is recommended that greenhouse and vertical farm producers install filtration and sterilization equipment to reduce the pathogen load of the recycled water. This article aims to provide an overview of filtration and sterilization technologies that are being used in greenhouse and vertical farming production systems. It will discuss benefits and drawbacks of the most popular systems currently used in CEA, including physical filtration, biofiltration, heat treatment (pasteurization), ultraviolet (UV) light and ozone treatment. Special attention is paid to whether a system encourages beneficial microbe growth while reducing pathogen levels. Chemical and biocontrol management options are not discussed here.

MEMBRANE FILTERS

The ability of membrane filters to remove pathogens from recirculated water depends on the size of their pores. As the size of the pores decreases, so too does the size of microbes that are able to pass through the filter. The size of most fungi is 3–50 µm, bacteria are around 0.6–3.5 µm and viruses are the smallest at around 0.03–0.3 µm. The size of Phytophthora particles ranges from 5–171 µm. Filters suitable for removal of microbes have a pore size of < 10 µm. Microfilters remove particles ≥ 50 µm, ultrafilters remove particles ≥ 0.02 µm (20 nm), nanofilters

• Hyperfilters used in RO can be used to not only remove pathogens, but also remove excess salts such as sodium and chloride. This can be used to improve the quality of some water sources. For example, wells that may have high levels of salt.

Drawbacks:

• Filters do not discriminate between beneficial and pathogenic microbes. All microbes are filtered depending on their size.

• Filters have higher installation costs than some other sterilization systems.

• The smaller the pore size, the lower the flow rate of water. If the operation’s water requirement is high, then it may require a high flow rate of water offered by filters with larger pore sizes, or multiple distributed smaller pore size filters. If larger pore size filters are used, then there is a greater chance for microbes to pass through the filtration system and back to the crop.

• Filters can be clogged by suspended solids (sand, silt, organic matter), chemical precipitates (Fe, Mn, carbonates, pesticides), biofilms and algae.

• Filters will not work properly if they are damaged. They need to be replaced and/or maintained on a regular basis to reduce the risk of leakage or breakthrough. Small scale leaks are not easily detected and there is no warning system to let producers know that a filter is damaged or that breakthrough is occurring.

• RO removes nutrients so it should only be used if filtering external water sources such as wells.

SLOW SAND FILTRATION, ALSO KNOWN AS BIOFILTRATION

Slow sand filters (biofilters) consist of a sand-based (or similar) filter bed that allows the slow passage of water through the media, and supports the growth of beneficial microbes that consume the organic material entering the filter. The filter material is usually sand, but it can also be granulated rockwool, lava grain, pumice, or anthracite. It is recommended to have a minimum filter bed thickness of between 50–80 cm, and sand grain size of less than 2 mm. The filter is typically supported by layers of gravel underneath. Water typically passes very slowly through the filter material at a rate of 100–300 L per m^2 per hour. The force of gravity is used to push/pull water through the system. A water layer above the filter of about 80–150 cm is required to generate enough hydrostatic pressure on the column to facilitate adequate flow. After some time a biologically active layer forms on the top of the filter with a population of algae, bacteria, fungi, and other microbes that form biofilms. This layer is called the Schmutzdecke and it is key to reducing pathogens. The filter material physically traps inorganic and organic particles including pathogens. The biological and chemical activity of the Schmutzdecke breaks down the trapped particles and kills pathogens.

The maintenance of the biologically active Schmutzdecke is very important to the success of slow sand filters. It is

recommended that the water flow gently onto the filter so not to damage the Schmutzdecke at the top layers. A flow rate of 10–30 cm per hour would allow a filter capacity of 100–300 L per m^2 per hour. These systems are thought of as ecosystems that need nutrients and the proper environment to survive and thrive. The slow flow rate of these systems is intentional to give enough time for the biological and chemical processes to happen. These reactions also require adequate oxygen levels (> 3 mg per L), and optimal temperature (10–20 °C). While reducing pathogens, these systems promote the growth of beneficial microbes in the recycled water. Irrigation recirculation systems that use slow sand filtration are typically rich with bacteria (10^3–10^4 colony forming units per mL). This population of bacteria is thought to be beneficial for plants and reduces the ability of pathogens to colonize roots. However, a complete understanding of how these filters work is lacking.

Another important aspect of slow sand filters is the size of the sand grain. Filtration is improved by using smaller grain sizes, similar to filter pore size mentioned in the previous section. Smaller grains have more surface area per unit volume of the filter bed which allows them to filter more water. The smaller the grain size, the better it is at trapping organic and inorganic matter. High filtration efficacy occurs when using a fine and medium sand grain size between 0.15–0.8 mm. However, the smaller the grain size, the lower the flow rate of water (again, similar to filter pore size mentioned in the previous section).

The biological and chemical activity of the Schmutzdecke in combination with the physical filtration of the grains has proven to be very effective at reducing pathogen loads in recycled irrigation solutions. Studies have shown a reduction of Phytophthora, Pythium and viruses by 95–100% using this system.

Benefits:

• The main benefit of slow sand filters is their ability to maintain natural beneficial microbes in the recirculated water.

• Their low tech nature allows slow sand filters to be cheaper than other filtration and sterilization systems because they don’t require as much energy to run or specialized training to maintain.

• No phytotoxic side effects have been observed when using slow sand filters.

Drawbacks:

• Their slow rate of water flow does not allow slow sand filters to be used in operations that require large volumes of water.

• Slow sand filters require a significant amount of space to set up and this is accompanied by a large set-up cost.

• To prevent clogging, the Schmutzdecke needs to be partially removed every few weeks by scraping off the uppermost layers.

• Oxygen may be reduced in the solution due to consumption in the Schmutzdecke. Oxygen needs to be supplemented through aeration or active gas supplementation in the nutrient solution.

• Fluctuating temperatures may adversely affect a biofilter as discussed above.

HEAT (PASTEURIZATION)

High temperatures disrupt cell integrity and interrupt metabolic

processes in microorganisms.

That basically means that if you apply enough heat to something for long enough then you’re able to kill it. Both temperature and contact time (intensity and duration) is important for this process. The more heat you apply in a given period of time the less contact time you need to kill pathogens. Conversely, if you reduce the heat applied in a given period of time, generally it will take longer to kill the pathogens. That is the premise behind using heat (pasteurization) to sterilize recycled nutrient solution in CEA. These types of systems pass water through a series of heat exchangers until the target temperature and desired contact time is reached. The heat is then recovered from the water and the water is cooled before being applied to the crop.

The quickest way to kill most microbes is to heat water to 95°C for 30 seconds. This is effective for controlling Pythium and Phytophthora, as well as some viruses. To reduce energy costs heat levels can be reduced to 60°C but the exposure time must be increased to 2 min to eliminate fungi, bacteria and nematodes. To kill viruses, water needs to be heated to at least 85°C for 3 min. It is recommended that water pH be reduced to 4.5 before heating to reduce calcium precipitation on metal heat exchange plates. Using corrosion-free materials (ex. stainless steel) is also recommended.

LEFT

Recirculated drip irrigation in a cucumber greenhouse.

Benefits:

• High temperatures are effective at controlling many pathogens.

Drawbacks:

• Heat, like most sterilization techniques, does not discriminate between beneficial microbes and pathogenic ones.

• High temperatures have some undesired effects such as the precipitation of some salts. These precipitates may cause clogging of the irrigation system and reduce the availability of these chemicals to the crop.

• Heat reduces the amount of dissolved oxygen in the water, so oxygen supplementation through aeration or active injection may be necessary after heat treatment.

ULTRAVIOLET (UV) LIGHT

UV light is electromagnetic radiation with a wavelength between 100–400 nm. Germicidal UV lamps emit radiation that causes a photochemical reaction: this damages the genetic material of microorganisms (DNA and RNA), reducing their ability to reproduce and grow. The optimum UV wavelength to kill microbes is around 254 nm. High pressure lamps emit UV-C radiation with a wavelength between 200–280 nm, whereas, low pressure lamps emit around 254 nm. High pressure lamps are less energy efficient than low pressure lamps, but both lamps are effective at controlling pathogens in recirculated nutrient solution, as long as the proper dose is reached.

Similar to heat treatment, the efficacy of disinfection depends on the duration and intensity (dose) of the UV treatment. This is measured in mJ per cm^2. The effective dose of UV-C can range from 28–850 mJ per cm^2. A UV dose of 100 mJ per cm^2 is sufficient to eliminate pathogenic fungi, while a higher dose of 250 mJ per cm^2 is recommended to remove all organisms including viruses, and an even higher dose of 500 mJ per cm^2 is required to achieve 96% mortality of some nematodes (but 100 mJ per cm^2 prevented reproduction of some nematodes and reduced infection of plant roots). Some Phytophthora and Pythium species can be controlled with UV-C doses of as little as 17–88 mJ per cm^2. In addition to dose, disinfection efficacy is also dependent on the flow rate of water past the UV source. The slower the water flow rate, the more exposure microbes have to the UV light which increases mortality. But the most important factor affecting efficacy is water clarity. UV light is reflected off or absorbed by any material in the water such as suspended solids or plant debris. These particles may shield microbes from the UV light and reduce mortality. Recycled water must be filtered prior to UV light treatment in order to remove suspended particles from the water. This increases UV light penetration and transmission. For UV light to effectively disinfect recycled irrigation water, a minimum UV transmission rate of 60% is essential. That means the water needs to be clear enough so that at least 60% of the UV light emitted by the lamp passes through the water and is not absorbed or reflected by particles. Iron (Fe) also absorbs in the UV waveband. Given iron’s necessity as a micronutrient it is often present or added to fertigation solutions and will impact the efficacy of UV treatments.

ABOVE

Reverse osmosis filtration system in a tomato greenhouse.

Benefits:

• UV light is not corrosive, does not depend on the pH of the solution and does not require additional chemicals.

Drawback:

• UV light, like heat treatment, does not discriminate between beneficial microbes and pathogens.

• Treating recycled nutrient solutions with high intensity UV has been shown to inhibit growth of lettuce plants downstream of the treatment, potentially due to generation of ozone and/or free radicals (bad stuff that hurts plants).

• UV light can destroy some iron chelates which can cause iron to precipitate out of solution and coat the UV lamp, which will reduce the effective lamp output. Further, iron itself absorbs UV light, thereby reducing the number of photons available to inactivate pathogens. The lack of iron in solution may result in iron chlorosis if iron levels are not amended after treatment. However, some chelates perform better under UV treatment, preventing the negative effects of UV-induced iron deficiency.

• UV light treatment is costly and requires high maintenance levels because UV lamps degrade with time, which results in reduced dose (up to 10% loss after 1,000 hours of operation, and 35% loss after continuous operation for a year). UV lamps need to be monitored and changed as required.

OZONE (O3)

Ozone is a strong oxidizing agent. More than 1.5 times stronger

than chlorine. It acts by direct oxidation or through the production of short-lived hydroxyl free radicals and superoxide ions (bad stuff that can hurt living things). Ozone is generated by combining an oxygen atom (O-) with an oxygen (O2) molecule to form ozone (O3). As stated in the previous section, UV light can be used to generate ozone, but much higher concentrations are produced if electricity is used as the source of energy for this reaction. For example, corona discharge ozone generators use electricity to produce ozone from air, whereas electrolytic discharge ozone generators use electricity to produce ozone directly in the water. Once ozone is generated it is relatively unstable and decomposes back to oxygen, or reacts with other materials, in a short period of time. It has a half-life of less than 20 minutes when dissolved in clean water. This instability can be a good thing and a bad thing. On the positive side, once ozone is produced in the recycled water it kills microbes and quickly breaks down. It is recommended to treat solutions until a minimum residual ozone concentration is achieved (~0.5 mg per L). Prior to distribution to the crop this residual will automatically degrade or can be easily stripped out with an ozone destruct filter. This said, there is evidence that suggests a small residual could be maintained during distribution to help keep pipes and emitters clean without any crop damage. Also, because ozone breaks down into oxygen it has the potential to dramatically increase dissolved oxygen levels. One negative aspect of ozone’s short half-life is that it must be produced at the point of use and immediately dissolved in the solution.

Similar to heat and UV light treatment, the efficacy of ozone depends on the target microbe you’re trying to kill and the dose

of ozone (concentration and contact time). Most microorganisms of concern to growers are controlled if ozone is applied until a residual of ~0.5 mg per L can be maintained for 5 minutes in the bulk solution (i.e., in tank). Achieving this residual will require dramatically different amounts of ozone depending on the initial contamination level of the water.

Manganese, iron and micronutrient chelates can be oxidized by ozone, and therefore compete with other contaminants/ pathogens for applied ozone. This increases the ozone demand in the solution resulting in longer processing times.

Benefits:

• Ozone degrades pesticides and other contaminants in the solution.

• Ozone has a low environmental hazard due to its very short half-life in water.

• Ozone can increase overall dissolved oxygen levels as it reacts or reverts to diatomic oxygen.

Drawbacks:

• Ozone treatment systems have a high cost of installation and maintenance.

• High levels of ozone can be phytotoxic if the ozone does not break down fast enough before the recycled solution is reapplied to the crop.

• Ozone demand can be very high in water with a high pH, high organic matter, nitrite, manganese, iron or bicarbonate concentrations.

• Gaseous ozone is hazardous and proper training, handling and safety measures must be in place.

• Ozone is an aggressive oxidant and as such system components must be compatible (e.g., rubber fittings will rapidly disintegrate).

CONCLUSIONS

There is no single solution for CEA water treatment; rather, a systems approach should be taken that deploys the appropriate water treatment technologies for the specific water quality needs of the operation. Many greenhouse and vertical farm producers install multiple filtration and sterilization systems that work in series. This ensures redundancy in their operations and give them peace of mind that their recycled water is not harboring high levels of pathogens that can cause disease. It is recommended that producers check the quality of their source water and recycled water on a regular basis. Water samples can be sent to a number of accredited and certified laboratories in Ontario that offer identification and quantification services. These services may include molecular techniques that can identify a plethora of pathogens at once, like a DNA multiscan or sequencing. However, positive results from molecular tests should be interpreted with caution because they mean that the genetic material (DNA or RNA) of a pathogen is present, but they cannot tell if that pathogen is alive or dead. If a pathogen is detected with a molecular test it should be verified with bioassays (culturing or inoculation of test plants) to confirm the pathogen is alive.

Dr. Fadi Al-Daoud is a greenhouse vegetable specialist for the Ontario Ministry of Agriculture, Food and Rural Affairs. Dr. Thomas Graham is an assistant professor at the School of Environmental Sciences, University of Guelph.

2022 CANADIAN GREENHOUSE

“IT’S GOOD TO BE BACK!” A popular sentiment for sure, but we never really left – just modified. In 2019, we celebrated the 40th anniversary of the Canadian Greenhouse Conference (CGC). We were proud of the show’s legacy and assured growers and industry partners that the CGC was committed to supporting the horticulture industry for years to come. Two virtual conferences affirmed that commitment and now, in 2022, we are excited to return to a power-packed, inperson event that you won’t want to miss.

high-level information, but there is much to benefit junior growers, too. See the results when you invest in your staff, and they put what they learn into practice. More than 60 speakers from Canada and around the world will be on hand to present cutting edge information in an interactive environment. Learn about advancements in technology, production, disease management and IPM. Find out what is under development and may change the way you grow. Panels will feature growers for that “real world” perspective.

Retailers – you may have experienced the biggest change in day-to-day business operations in our sector. E-commerce takes centre stage with help from Katie Elzer-Peters and a panel of entrepreneurs who have been there, done that. What’s next? Funky Amanda Thomsen will entertain and inspire.

Four workshops will address timely issues and offer solutions that you can apply the next day.

Protected Agriculture “Let’s Get Started”

LET’S MOVE ONWARD!

The CGC will celebrate a return to conversations, interactive education and networking. The exhibit hall will be filled with new products, services and people who are eager to help growers succeed. Advances in technology and equipment will be on full display. You will find familiar names and faces but there is a healthy influx of new exhibitors bringing their innovations to the trade show floor.

A comprehensive education program is designed to appeal to attendees from every level of operations. There is some

The Protected Agriculture Standard will require you to complete an assessment of your farm before the end of 2023. Hear the background for the standard and how audits will be done on farm. Appointments will be available to discuss how this regulation will specifically affect your farm.

Cybersecurity – You ARE at Risk

Ransomware is not just something that happens to others, it is a real risk to operations of every size. Find out how to minimize that risk and protect your data.

Air-assisted Sprayer Technology. Worth it, or does it blow?

Sponsored by Dramm and hosted by OMAFRA Application Technology

CONFERENCE

Specialist Jason Deveau, you will enjoy this hands-on workshop that will run three times during the conference. If you have ever attended one of Jason’s seminars or demonstrations, you know this will be both fun and informative. If you haven’t, you are in for a memorable experience. Watch for cameo appearances by assorted OMAFRA and industry personnel.

First

Thing First –Fundamental LED Considerations

Thinking about a new build or retrofit? Where do you start? This workshop will help you understand basic system requirements so components are compatible, work together seamlessly and reduce the potential for costly mid-project redesigns.

There’s more!

With over 20 sessions, it is not possible to cover all in detail, but visit the website CanadianGreenhouseConference.com for individual presentation summaries and start planning your itinerary.

WHERE’S THE BUS TOUR? Out of respect for the security and health of host operations, their employees and bus tour guests, the CGC decided not to schedule a bus tour this fall. Watch for the return of that popular conference event next year. With the incredible amount of new building/retrofitting going on, there will be no shortage of interesting sites to visit in 2023.

“IT’S GOOD TO BE BACK” does apply to conference highlights the Happy Hour and The Gathering. Two great social events that were missed indeed. Food and music compliments of sponsors Signify, OGVG and Havecon make the return of the Happy Hour extra happy and create the ideal end to the first day of the show.

Guests at The Gathering will enjoy dining on the brink of majestic Niagara Falls. The Table Rock House is one of Niagara’s most iconic restaurants and Chef Elbert Wiersma will use the best produce Ontario has to offer to make this event memorable.

Virtual isn’t going away completely. The online New Variety Showcase and the Research Poster Session were highly successful. Both events will now embrace a hybrid format. The physical display of New Varieties will return and the online showcase will build on that exhibit and allow growers to review the cultivar details at their convenience. The Poster Session will feature current research from professionals and graduate students. More than a dozen projects will be posted to the CGC website with seven of those selected for presentation in the popular Research Updates session.

Be sure to book your hotel room at the CGC’s headquarter hotel, the Marriot on the Falls. The rate includes a buffet breakfast and you may find yourself sharing a table with one of the many speakers who have come from around the world. Find complete information and the booking link on our website.

Check out the impressive list of industry partners on our website. These companies have gone the extra mile to support this show and by extesion, Canadian growers. Thank you for making the Canadian Greenhouse Conference an integral part of your business activity.

Online registration is open. Take advantage of discount pricing before September 30. Complete conference information is available at: www.CanadianGreenhouseConference.com.

SEE you at the show!

SCHEDULE | WEDNESDAY, OCT 5TH - MORNING

SESSIONS

Trade Show Open 9am - 4pm / Great Food Options On-Site / Happy Hour 4pm - 6pm

Wed.

9:30 AM to 11:30 AM

Sponsored by

Tracking Seasonal Nutrient Load in Greenhouse Storm Water Retention: Phase II

Christopher Weisener, University of Windsor, ON

CEA Water Werewolves: There are no silver bullets

Thomas Graham, University of Guelph, ON

Digital Water Quality Management –Consistent water quality – The future is now Els Vanbeckevoort, SanEcoTec Ltd.

Sponsored by

ToBRFV Symposium Highlights

Cara McCreary, Ontario Ministry of Agriculture, Food & Rural Affairs, Genevieve Marchand, Agriculture & AgriFood Canada, Harrow, ON

Effective Sanitization to Eliminate Cucumber Green

Mottle Mosaic Virus

Oualid Ellouz, Agriculture & Agri-Food Canada Harrow, ON

Powdery Mildew Management on Greenhouse Crops: examples from cucumber and cannabis

Zamir Punja, Simon Fraser University, BC

Protected Agriculture “Time to Get Started”

The Protected Agriculture Standard will require you to complete an assessment of your farm before the end of 2023.

Hear the background for the standard and how audits will be done on-farm.

To learn how this regulation will specifically affect your farm, book an afternoon time slot to discuss the details with a professional.

Details on the website

Making $ense of Greenhouse Supplemental Lighting: Ornamentals

Roberto Lopez, Michigan State University

Smart Lighting Strategies: Taking full advantage of the capability of LED fixtures

Marc van Iersel, University of Georgia

Lights, Insects, Action: Lighting effects on IPM

Sarah Jandricic, Ontario Ministry of Agriculture, Food & Rural Affairs

Sponsored by

Lighting Strategies to Reduce Light Pollution While Saving Energy Xiuming Hao, Agriculture & Agri-Food Canada, Harrow, ON

A Move in the Light Direction: LEDs for yearround pepper production

Jason Lanoue, Agriculture & Agri-Food Canada, Harrow, ON LEDs in Highwire Cucumber Production

Marcel Huibers, BASF Nunhems. Climate Under Light Abatement Curtains

Quade Digweed, Agriculture & Agri-Food Canada, Harrow, ON

WHAT’S NEW?

Talk to the people who know on the trade show floor. 200+ exhibitors will be waiting to see you.

SCHEDULE | WEDNESDAY, OCT

5TH - AFTERNOON

SESSIONS

Wed.

2:00 PM to 3:30 PM

Sponsored by

New Thrips. New Concerns. New IPM programs?

Sarah Jandricic, Ontario Ministry of Agriculture, Food & Rural Affairs

Make Your Biocontrol More Dangerous for Your Pests

Ishtiaq Rao, Crop Defenders

Ontario Crop Hub: Helping you choose effective, compatible pesticides

Cara McCreary & Sarah Jandricic Greenhouse Specialists, Ontario Ministry of Agriculture, Food & Rural Affairs

Sponsored by

The Hydrogen Integrated Greenhouse Horticultural (HIGH) Energy Project

Rupp Carriveau, University of Windsor, ON

Advances in Greenhouse Energy Storage

Quade Digweed, Agriculture & Agri-Food Canada, Harrow, ON

Optimize Your Climate & Reduce Energy Consumption with Curtains & Fans

Rob Hanifin, Ludvig Svensson Inc.

No Power Grid, No Problem

Jessie Gillis, Vergent Power Solutions

Sponsored by

CybersecurityYou ARE at Risk

The Realities of Cybersecurity Risk – Beyond the Myths & Misconceptions

Sandy Boucher, Grant Thornton LLP.

Who did Cybersecurity Better: Automotive or Agriculture? Mitra Mirhassani, University of Windsor, ON

Best Practices: Advice from your IT guy Bryan Lachapelle, B4 Networks

Sponsored by

Air-assisted Sprayer Technology: Worth it, or does it blow?

Hosted by Jason Deveau, Application Technology Specialist, Ontario Ministry of Agriculture, Food & Rural Affairs

This workshop will run Wed. A.M., Wed. P.M. and Thurs. A.M. There is no cost, but pre-registration is required as space is limited

First Things First – Fundamental LED Considerations

First Principles Signify & Heliospectra

Have You Got What It Takes? Power Points

Kevin Verhoef, Verhoef Electric Inc., Evann Seney, Honey Electric Ltd.

Choosing the Best Lighting for Your Crops

Belal El-Hussan, A.J. Hendriks Greenhouses, Beamsville, ON

See you at the Niagara Falls Convention Centre, 6815 Stanley Ave., Niagara Falls, ON. Free parking is available.

CONFERENCE ACCOMMODATION

Reserve your room at one of two conference hotels located across the street from the NFCC. Conference room rates include hot breakfast and complimentary wifi. Visit our website for complete information.

SCHEDULE | THURSDAY, OCT 6TH - MORNING SESSIONS

Trade Show Open 9am - 4pm / Great Food Options On-Site / Happy Hour 4pm - 6pm

Thurs. 9:30 AM to 11:30 AM

Sponsored by TBD

Gavin Schneider, Ecoation

Electronic Nose Technology for Pest & Disease Management

Arezoo Emadi, University of Windsor, ON

Talk to me: What we can learn from communicating with plants

Maxime Dedecker, 2Grow

A little Bit of Everything All of the Time: Customer Service in the Internet Age

Amanda Thomsen, Kiss My Aster

To E-comm or Not to E-comm – What are the questions?

Katie Elzer-Peters, The Garden of Words

Experiences with E-Commerce

Jeff Beattie, Winona Gardens, Winona, ON

Terry Colasanti, Colasanti Farms Ltd., Ruthven, ON Miguel Mori, Hendriks Greenhouses, Beamsville, ON

Sponsored by

Vertical Farming: Challenges & opportunities in the Canadian supply chain

Steve Jones, President, Local Leaf Farms Inc., Barrie, ON Crop Diversification, Biosecurity & Environmental Control

Melanie Yelton, Plenty

Impact of Air Flow on Vertical Farming 3.0 Emil Breza, AgricUltra Advancements Inc

Sponsored by

Management of Temperature & Light of Leafy Greens & Vegetable Transplants

Roberto Lopez, Michigan State University

Select the Right Propagation Mix to Help Secure Your ROI

Pierre-Marc de Champlain, Berger

Best Practices for Storing Cuttings

Todd Cavins, Ball Horticultural Co.

911: Resuscitating a bad batch of cuttings

James Gibson, Syngenta Flowers

An Intregrated Approach to Prevent Emerging Viral Disease Outbreak

Kai-Shuh Ling, USDA-ARS, U.S. Vegetable Laboratory, Charleston, S.C.

NEW VARIETY DISPLAY

It’s the best of both worlds; view the outstanding on-site display and then photos and videos on our website.

Sponsored by:

Sponsored by

L.I.G.H.T. Lasers in Greenhouses & Horticulture against Thrips (and other pests)

Edwin Kroon, Lion Lasers, NL, Estuardo Hernández Olesinski, Wageningen University, Netherlands

Early Detection of Bacterial Canker in Greenhouse Tomato Crops

Jose Rincon, Vineland Research & Innovation Centre, ON

Casting a Light on IPM

Zelda Pieterse, Vineland Research & Innovation Centre, ON

New AgriSuite Tools for Greenhouse Producers

James Dyck, Ontario

SCHEDULE | THURSDAY, OCT 6TH - AFTERNOON SESSIONS

Trade Show Open 9am - 4pm / Great Food Options On-Site / Happy Hour 4pm - 6pm

Thurs. 2:00 PM to 3:30 AM

Homegrown Heroes: Development of native predators for greenhouse IPM

Rose Buitenhuis, Vineland Research & Innovation Centre, On

The Bug Hunters: Developing new & native biocontrol agents for IPM in Canadian greenhouses

Roselyne Labbe, Agriculture & Agri-Food Canada, Harrow, On

Friends & Foes of Cannabis sativa and the Potential for Companion Plants as a management Tool for Outdoor Cultivation

Lillian Auty, University of Guelph, On

Consumer & Sensory Research at Vineland: Where we’ve been, where we’re headed & the growing role of digital media

Alex Grygorczyk, Vineland Research & Innovation Centre, ON

Hiring and Managing Web Developers & Marketers to Get Results

Katie Elzer-Peters, The Garden of Words

Into the Unknown: The Current & Future of Garden Centres

Amanda Thomsen, Kiss My Aster

Sponsored by

Sponsored by

10-minute presentations update growers on current research.

The varied topics will interest and inform while providing an excellent overview of what is happening in the industry.

Learnings from the Field: Strawberry disease management

Katie Goldenhar, Ontario Ministry of Agriculture, Food & Rural Affairs

From Transplanting to Harvest: Getting the most from your strawberry crop with dynamic lighting

Rose Seguin, Sollum Technologies

Getting Off the Ground: Growing berries in substrates

Shawn Mallen, A.M.A. Horticulture

Strawberry Flower Mapping Edward Durner, Rutgers School of Environmental & Biological Sciences, NJ

Sponsored by

TBD

Martine Dorais, University of Laval, QC

Dealing with Molds, Mildews & Other Nasties That Want to Eat Your Crop

Michael Brownbridge, BioWorks Inc.

Getting More Out of Your Grow: Identifying & overcoming cannabis cultivation challenges

Emil Breza, AgricUltra Advancements Inc.

Spectral Factors to Consider When Optimizing Lighting for Cannabis Production

Brian Poel, Fluence Bioengineering

Highlighting current research from universities and industry, posters will be available on-demand on the CGC website. The on-line format allows you to reference these studies on demand. Select projects will be presented in the Research Updates session, Thursday afternoon.

Sponsored by:

2022 CONFERENCE SPEAKERS

ASHLEIGH AHRENS

University of Guelph

Ashleigh Ahrens completed her BSc. in Agricultural Science at the University of Guelph in 2021. As an Aggie, she was exposed to many aspects of agricultural production during her undergrad: vineyards, tree fruit, field crops, alliums, potatoes, muck crops, and dairy production. Recognizing the importance of the cannabis industry in the future, Ashleigh took an undergraduate course in cannabis production, taught by Dr. Youbin Zheng. This led to the opportunity to pursue a MSc. in Environmental Sciences and conduct research aimed at improving cannabis production through modifications of environmental parameters. Her research will contribute to the growing body of novel scientific information to Canada’s flourishing cannabis industry.

LILLIAN AUTY

University of Guelph

Lillian Auty is currently completing her Masters of Science specializing in integrative pest management in outdoor cannabis agroecosystems at the University of Guelph. She has a passion for agriculture, where our food comes from and its impact on the environment. Auty has worked as a pest management research assistant in Horticulture crops at OMAFRA and in the Scott-Depree Agro-Eco Lab, participating in various projects involving pest management contributing to better sustainable farming practices for the growers of Ontario. More recently, she has begun to work with Cannabis sativa, experimenting with innovative conservation biocontrol techniques, such as companion planting. With such an everchanging field dynamic, the possibilities in cannabis research are endless and Lillian’s focus will be on improving the environment, grower

livelihoods and have a developing impact on national resource security.

JEFF BEATTIE

Winona Gardens

Jeff Beattie is the thirdgeneration owner of Winona Gardens, located between Grimsby and Stoney Creek in the historic community of Winona. Founded in 1953 by Jeff’s grandfather George, the business has grown over the years, and has become a destination garden retailer for the Hamilton and Niagara region. Since taking over the business from his parents in 2008, Jeff’s focus on quality plants, customer-focused service, and expert advice has propelled the company to award-winning heights, including several Reader’s Choice awards, City of Hamilton Local Business Award, and the Stoney Creek Chamber of Commerce Prestigious ‘Legacy’ award in 2018. Prior to returning to the family farm, Jeff worked in the Niagara region for a major horticultural supplier. He is a graduate of Niagara College’s Business Administration program, specializing in Operations Management. Jeff volunteers with several community organizations, and heavily supports community initiatives in Grimsby, Winona and Stoney Creek.

SANDY BOUCHER

Grant Thornton LLP

A seasoned investigator with 35 years of experience, Sandy joined the forensic and disputes resolution group of Grant Thornton in 2009, and currently leads the National Cybersecurity practice. This rapidly growing team provides support to organizations in assessing their cybersecurity risk, helping them to remediate their cyber programs and responding to data breaches and other cyber-attacks.

The Grant Thornton cybersecurity forensics team has been selected for a

number of breach response panels by global insurance firms and has assisted organizations to tackle many varying cyber security incidents. Sandy’s experience in leading and managing these files has underlined the problems that cause them and highlighted to him the need for a plain language approach to the issue. Sandy is a regular speaker on cyber security issues exposing the myths and misconceptions that are preventing organizations from dealing effectively with cybersecurity risk and using real case studies to demonstrate this.

Before joining Grant Thornton, Sandy has worked in both the public and private sectors, starting his career with the Royal Hong Kong Police. Sandy came to Canada and the private sector in 1995 and is a specialist in fraud and corruption investigations, asset tracing and recovery, and managing investigations.

EMIL BREZA

AgricUltra Advancements Inc.

Emil is co-founder, president and CEO of AgricUltra™ Advancements Inc. Bringing together his interdisciplinary technical expertise and many years of product development and innovation he introduced to AgricUltra a PlantFirst™ design approach to create one of the industries most advanced Turn-Key Vertical solutions for Precision Controlled Environment Agriculture applications. Prior to founding AgricUltra, Emil had years of experience in Process Engineering, the Automotive Industry, Professional consulting and the Military where he honed his ability to identify the root cause of problems and develop solutions that are outside the box.

MICHAEL BROWNBRIDGE

BioWorks Inc.

Michael is a biological program manager with BioWorks. In this role he

provides technical support for the company’s catalog of diseasemanagement products, and their utilization in integrated plant health management programs. Prior to joining BioWorks in 2019, he was fortunate enough to have travelled the world plying his craft, with research and outreach positions in Israel, Kenya, the U.S., New Zealand and Canada, putting new biological control tools and knowledge into the hands of growers.

ROSE BUITENHUIS

Vineland Research & Innovation Centre

Dr. Rose Buitenhuis is senior research scientist, Biological Control, at the Vineland Research and Innovation Centre since 2010. She is responsible for the development and implementation of biological control technologies for management of arthropod pests, supporting sustainable crop management practices for ornamental and production horticulture. Rose received her MSc in Biology at the University of Leiden in the Netherlands in 1997, and her PhD in Entomology at Laval University, Québec in 2003. She worked as a post-doctoral fellow at Agriculture and Agri-Food Canada in Harrow (2004-2007) and at the University of Guelph (2007-2009) on biological and cultural control of western flower thrips in greenhouse flower crops.

Current projects in greenhouse ornamentals and vegetables address the whole spectrum of IPM - from plant resistance, environmental factors and biological control strategies - and how to integrate pest management strategies in the production system.

RUPP CARRIVEAU

University of Windsor

Dr. Rupp Carriveau is the director of the Environmental Energy Institute and Co-Director of the Turbulence and Energy Lab at the University of Windsor. His research activities focus on energy systems futures and next-gen agriculture. Dr. Carriveau serves on the Editorial Boards of Wind Engineering, Advances in

Energy Research, and the International Journal of Sustainable Energy. He recently guest-edited special editions of Energies and The Journal of Energy Storage. Professor Carriveau was a recent recipient of the University Scholar Award and has acted as a Research Ambassador for the Council of Ontario Universities. Dr. Carriveau is a Founder of the Offshore Energy and Storage Society (OSES) and recently Co-Chaired OSES2018 Ningbo China, and OSES2019 Brest France. Professor Carriveau is Chair of the IEEE Ocean Energy Technology Committee and was recently named to Canada’s Clean50 for his contributions to clean capitalism.

TODD CAVINS

Ball Horticultural Co. Todd is a technical services specialist with Ball Horticultural Company. He received his Ph.D. in plant nutrition/soil physics from North Carolina State University. He became a professor at Oklahoma State University and then served nearly 10 years in technical support and research and development for a leading potting soil and fertilizer manufacturer. For the past eight years, Todd’s major role is supporting plug growers and rooting stations for the Ball Seed network.

TERRY COLASANTI

Colasanti Farms Ltd.

Founded by Alex and Emma Colasanti, and later to include Joe and Barbara, Colasanti Farms Limited is family owned and operated. Terry and Luann joined the company in 1980. Together, they grew their team from 20 employees in 1980 to 180 persons in 2019. Their product is displayed in garden centers and mass merchandisers from east to west coast. Terry has served as Chair of Flowers Canada Ontario and multiple terms as President of the Cecil Delworth Research Foundation. He was instrumental in the development of F&V Energy known today as Ag Energy. With the assistance of a fourth Colasanti generation, the farm expanded its recreational facilities to include several indoor carnival rides,

playgrounds, an indoor/outdoor animal petting farm, indoor golf course and 600-seat restaurant. Due to the pandemic, operations have been reduced and today the restaurant is now 250 seats and the rides and playgrounds have been eliminated. The golf course and petting farm are still operating.

JORDAN DALICANDRO

University of Guelph Jordan completed his undergraduate degree at the University of Guelph in the Agriculture program with a specialization in crop science and horticulture. He is currently in his first year of the Master of Environmental Science program under the leadership of Dr. Youbin Zheng at the University of Guelph. His current research focuses on reducing the financial impacts from unsaleable potted ornamental plants on the plant producers. Jordan has a strong interest in the greenhouse industry and intends to work in this field after graduation from his master’s program.

Originally from Toronto, Jordan loves animals, especially his black German Shepard Bree and enjoys cycling, wakeboarding and snowboarding.

PIERRE-MARC DE CHAMPLAIN

Berger

Fascinated with biological sciences, Pierre-Marc joined the industry in 2008, and quickly became known for his integrated and forward-thinking approach for tackling growers’ unique challenges.

Intrigued by the fast-paced evolutions in the growing sector and obsessed with data-driven results in the field, Pierre-Marc always dives deep to uncover how substrates and the growing environment can help improve the yield of any production. His can-do attitude and wry sense of humor are appreciated by colleagues and customers alike.

Thanks to his strong advocacy for growers, GPN (Greenhouse Product News) selected Pierre-Marc for the

2020 Forty under 40 program.  Prior to Berger, Pierre-Marc worked at Lang 2000, helping to improve practices in the treatment of polluted water. Before Lang 2000, he performed soil ecology research at the Université de Sherbrooke’s Biology Department. He began his career as a research assistant at Agriculture and Agri-Food Canada’s Food Research and Development Center, assisting in projects on preserving food quality and ensuring safe food processing.  Two parts growing geek and two parts die-hard LEGO fan, Pierre-Marc is all about innovation and expertise. In his spare time, can be found woodworking and building his “next-big project.” He always strikes the perfect blend between big ideas and the small details that bring those ideas to fruition.

MAXIME DEDECKER

2Grow

Growing up on the countryside, Maxime was raised with a passion and respect for nature. The pleasure of catching tadpoles in spring, climbing trees and being surrounded by animals contributed to his choice of studies: bioengineering. In 2015, he obtained his master’s in bioscience engineering and built on that with a degree in business economics. After a few years in consulting, Maxime began to miss a practical connection with nature. That’s when he discovered 2Grow: a company that develops sensors to provide real-time feedback from plants – very cool! Maxime took the leap, joined the company and hoped to really make a difference. What an understatement that would turn out to be…

CARLY DEMERS

Agriculture & Agri-Food Canada/ University of Windsor Carly is a Niagara native who completed her undergraduate degree in biological sciences from Brock University. While there, she completed an undergraduate thesis looking at the diversity of sandflies in the Niagara Region, with a focus on vectors of leishmaniasis. She continued on to complete the

Commercial Beekeeping Program at Niagara College before beginning work as an insect rearing technician for a company producing black soldier flies for use as livestock feed. Through these experiences, she gained new insight into the roles that insects play in our everyday lives, as pests and disease vectors, but also as pollinators, biocontrol agents and food sources. This led her to pursue her Masters in Integrative Biology at the University of Windsor, where she is studying two native insect species with the potential to serve as biological control agents. In the future, Carly would like to work developing breeding programs for new beneficial insects across a variety of industries.

JASON DEVEAU

Ontario Ministry of Agriculture, Food & Rural Affairs

Jason studied biology and psychology at Mount Allison University, plant cell physiology at York University and plant cell electrophysiology at the University of Guelph. Based in Ontario’s Simcoe Resource Centre since 2008, he researches and develops practical methods to optimize productivity, spray effectiveness and reduce waste.

Founder and co-author of Airblast101 – Your Guide to Effective and Efficient Spraying, he also founded and coadministers www.sprayers101.com.

QUADE DIGWEED

Agriculture & Agri-Food Canada

Quade is a greenhouse engineering intern working for Agriculture and Agri-Food Canada at the Harrow Research and Development Centre. His field of work includes greenhouse energy efficiency, light pollution abatement and monitoring, greenhouse microclimate monitoring/ modeling, and the development of vertical farming technologies for use in extreme environments. He has experience in HVAC, controls and electronics development focused on sensors and systems for data collection, remote food production, and use in automated plant production systems.

EDWARD F. DURNER

Rutgers University

Dr. Edward F. Durner is an associate research professor in the Department of Plant Biology at Rutgers University. He received his Ph.D. from NC State, his MS from Virginia Tech and his BS from the University of Maryland. He has 36 years of experience in horticultural science (primarily fruit) research, teaching, and outreach. His research involves flowering physiology of strawberry and developing goldenberries as a new crop for North America. He recently received a three-year USDA Northeast Region SARE grant for flower mapping of strawberries, a three-year USDA Northeast Region SARE grant for developing goldenberry production strategies for the Northeast US and a NJ Department of Ag Specialty Crop Grant for alternative production strategies for strawberries. He is the author of 25 refereed papers on strawberry flowering as well as two textbooks: Principles of Horticultural Physiology (CABI, 2013) and Applied Plant Science Experimental Design and Statistical Analysis Using SAS® OnDemand for Academics (CABI 2021). Ed was the Director of The Student Sustainable Farm at Rutgers CSA, a 5-acre CSA, for 10 years; thus, he has first-hand experience with production agriculture and understands the challenges the industry as well as growers face these days.

JAMES DYCK

Ontario Ministry of Agriculture, Food & Rural Affairs

James is the engineering specialist for Crop Systems and Environment with the Ontario Ministry of Agriculture, Food and Rural Affairs (OMAFRA), based in Vineland, Ont. James was raised on a cash crop and hog farm in the Niagara Region, and completed his mechanical engineering degree at the University of Waterloo. His work at OMAFRA focuses on best practices, innovations, and environmental impacts of crop drying and storage, precision

agriculture, machinery, on-farm energy use, and greenhouse gas emissions.

BELAL EL HASSAN

Hendriks Greenhouses

Belal is a graduate of the DuPage Horticulture School in West Chicago, Ill. Prior to coming to Canada 23 years ago, he was a vegetable grower (mini cucumbers and tomatoes) in Kuwait for 10 years. Belal is currently head grower at Hendriks Greenhouses in Beamsville, Ont.

OUALID ELLOUZ

Agriculture & Agri-Food Canada

Oualid Ellouz, Ph.D., is a research scientist in plant pathology and test site manager for Pest Management Centre at Agriculture and Agri-Food Canada in Vineland, Ont. A graduate of the Université de Montréal, he worked as a greenhouse research scientist at Alberta Agriculture and Forestry in Brooks, Alta. He has extensive research experience in plant and microbial biology with multiple peer reviewed publications on the impact of pathogenic and beneficial plant-soil-associated microbes on plant physiology of different field and greenhouse crops in Canadian sustainable farming systems.

KATIE ELZER-PETERS

The Garden of Words LLC

Katie Elzer-Peters is the founder and CEO of The Garden of Words, LLC, a digital marketing firm that specializes in green industry clients. For 14 years she has helped brick and mortar and e-commerce businesses of every size (from small, family-owned to large corporations) grow and thrive in the digital age. The Garden of Words takes a broad approach to marketing plan development and implementation, blending tried and true traditional marketing techniques with new and emerging solutions. Katie and her team specialize in making digital marketing tools and tips accessible to everyone, regardless of their background or experience.

Elzer-Peters has a B.S. in horticulture from Purdue University and a M.S. in Public Garden Management from the University of Delaware and the Longwood Graduate Program and is a member of the Society of Fellows of Longwood Gardens. Prior to opening her marketing firm, Elzer-Peters served as the Assistant Director at Airlie Gardens, Curator of Landscape at Fort Ticonderoga, and managed educational programs, marketing programs, and horticultural staff at public gardens around the United States. Katie is a frequent contributor to Green Profit Magazine, has written 12 gardening books and is a frequent speaker at green industry conferences. In her spare time, she enjoys shark tooth hunting, reading, and urban sketching.

AREZOO EMADI

University of Windsor

Dr. Arezoo Emadi is an associate professor in the Department of Electrical and Computer Engineering, University of Windsor. She received her Ph.D. degree from the Department of Electrical and Computer Engineering at the University of Manitoba, and her Licentiate Degree from the Department of Microtechnology and Nanoscience at the Chalmers University of Technology in Sweden. She is a senior member of the Institute of Electrical and Electronics Engineers, a Professional Engineer, and the advisor for Women in Engineering. Her research activities revolve around the area of micro electromechanical systems, bio and chemical sensors, and micro and nano fabrication technology. She has an extensive multi-disciplinary background in academia and industry and leads cross-functional projects to introduce and implement advanced sensor technologies in a wide range of fields that make abundant use of sensors and transducers such as medical and environmental sciences. She is the recipient of Research Excellence Award in 2019 and 2021, Medal of Excellence in Online Teaching in 2020, Medal of Excellence in Service in 2021 as well as

the national Wighton Fellowship Award in 2022.

JAMES GIBSON

Syngenta Flowers

Dr. James L. “Jamie” Gibson received his B.S. in plant and soil sciences in 1996 from West Virginia University, Morgantown. He later earned his M.S. and Ph.D. in 2000 and 2003, respectively, from North Carolina State University. After graduate school he worked as an assistant professor at the University of Florida. In 2007, he became corporate manager of quality control for Conrad Fafard, Inc., followed by Fafard’s R&D Director and Technical Services Manager for Syngenta Flowers. His current position is technical lead for Syngenta Flowers working with broker and grower communities on flower trials and crop culture.

JESSIE GILLIS

Vergent Power Solutions

Jessie’s background is in electrical engineering applications related to data analytics and modern smart grid applications like, Combined Heat and Power (CHP). Jessie joined Vergent Power Solutions after building several Capstone CHP installations in Ontario as a project manager with a local EPC firm, managing the projects from initial design to final commissioning. Jessie is a certified microturbine Authorized Service Provider, allowing him to use his field experience to better design worldclass CHP projects.

Jessie holds a Masters of Applied Science in Electrical and Computer Engineering and a Bachelor of Engineering in Electrical Engineering from the University of Ontario Institute of Technology. He taught engineering courses to undergraduate students and published six peer reviewed publications, including three IEEE Journal papers as the first author. Jessie is currently a practicing Professional Engineer in Ontario with a license from the Professional Engineers of Ontario.

KATIE GOLDENHAR

Ontario Ministry of Agriculture, Food & Rural Affairs

Katie Goldenhar is a plant pathologist for horticulture crops at OMAFRA based in Guelph, Ont. She specializes in the detection, identification, and management of endemic and emerging plant diseases. She verifies and validates new disease management techniques and technology for the Ontario horticulture industry.

THOMAS GRAHAM

University of Guelph

Thomas Graham is an assistant professor in the School of Environmental Sciences and holds the PhytoGro Research Chair in Controlled Environment Systems at the University of Guelph. Thomas completed a prestigious Post-Doctoral Research Fellowship at NASA’s Kennedy Space Center before returning to U of G where he continues to develop a broad-based, interdisciplinary controlled environment agriculture (CEA) research and teaching program. His research activities encompass many international and domestic collaborations covering such topics as CEA water remediation, bioregenerative life support for human space exploration, northern and remote community food insecurity, high intensity urban and peri-urban agriculture, medical crop migration and standardization, and plantenvironment interactions and optimization. Thomas is also active in STEM outreach activities through such programs as TomatosphereTM, and he sits on several journal editorial boards and is an active peer reviewer.

ALEXANDRA GRYGORCZYK

Vineland Research & Innovation Centre

Dr. Alexandra Grygorczyk is a research scientist in the Consumer and Sensory Insights team at Vineland Research and Innovation Centre. In this role, she conducts sensory and consumer research and contract testing for the

horticulture and food industries. Her research examines factors driving consumer liking of ornamental plants, fruits and vegetables to define new market opportunities and guide new products through the commercialization pipeline. Her research in the ornamentals sector has included diverse topics such as consumer preferences for garden roses, edible flowers, edible ornamentals for container gardening, ornamental plants sought out by Asian-Canadians as well as factors that influence consumer purchasing at garden centres.

ROBERT HANIFIN

Ludvig Svensson Inc.

Rob Hanifin is a greenhouse climate consultant for AB Ludvig Svensson’s American subsidiary, working remotely. Rob joined the team in January 2017 while based on the West Coast. He relocated to southeast Michigan in 2019 to better serve Svensson’s end users in the Midwest and Ontario. Rob holds a bachelor’s degree in biology, and has been focused on Controlled-Environment Agriculture for over 10 years.

XIUMING HAO

Agriculture & Agri-Food Canada Dr. Xiuming Hao is a senior research scientist with Agriculture and Agri-Food Canada (AAFC) at Harrow Research and Development Centre in Harrow, Ont. He holds a PhD in plant physiology from University of Guelph and an MSc in computer control systems from Wayne State University. Xiuming has been involved in greenhouse research at the research centre since 1995. The focus of his research program is on greenhouse environmental physiology and energy efficiency. He has conducted numerous projects on greenhouse crop management, climate control, and energy conservation, including high-wire cucumber production systems, new greenhouse insulation technology, heat placement in greenhouse vegetable production on raised-troughs, and dynamic

temperature, CO2, humidity and fertigation control strategies, and new greenhouse cover materials. Xiuming has led the AAFC national research project on dynamic plant-based environment control to improve energy efficiency in greenhouse vegetable production. He has conducted extensive research in the last 20 years on year-round greenhouse vegetable production with supplemental lighting and is leading the national AAFC lighting projects on vegetables to improve light and energy use efficiency in controlled environment agriculture.

ESTUARDO HERNÁNDEZ OLESINSKI

Wageningen University & Research

Estuardo’s main interest is to find sustainable solutions to solve the current agricultural challenges in the area of plant health. After an extensive journey through different research groups in Latin America, the U.S., Asia and Europe, Estuardo joined Wageningen University & Research as part of the Plant Health Group. He now works in the development of production systems/strategies to stimulate plant resilience: optimal greenhouse conditions, hygiene, standing army, and positive plant-plant interactions.

MARCEL HUIBERS

BASF Nunhems Netherlands BV Marcel joined Nunhems in 1999 as a sales specialist in cucumbers and enjoyed frequent travel to Canada to support Nunhems growers and dealers. In this period, he worked together with enthusiastic growers in the Netherlands to develop the lighted and unlighted high-wire cucumber crop. In 2015, Marcel left Nunhems and became a high-wire cucumber grower at Hortus in Futuro growing multiple crops annually on 10 acres under HPS lighting. At this time, he also trialed top and interlight LEDs. In 2020, he rejoined Nunhems in his current role as Senior PD Agrotechnologist in the PD

department where he closely follows new developments in the cucumber production and breeding. Together with growers, Marcel likes to discuss how to get the best out of plant genetics. When visiting Canada earlier this year, he was pleasantly surprised to see all the advancements made in high-wire production, lights, acreage etc. Marcel is looking forward to meeting growers at the CGC.

TANYA IRANI

Metagenome Bio/Healthy Hydroponics InnoTech

Tanya is currently a Bioinformatics analyst and AgriScience client advisor at Healthy Hydroponics. She has a Master’s in Science, specializing in classifying bacterial species using bioinformatic tools. Tanya applies her knowledge about bioinformatics to help create reports for clients to better understand the microbiome of their hydroponic systems. She also works closely with growers to understand their needs and to better use our technology to help find solutions for their problems. Her and her team helped create the grower’s portal at Healthy Hydroponics by taking feedback from growers to create a tool to help them track the growth of the microbiome of their hydroponic system in a more effective way.

SARAH JANDRICIC

Ontario Ministry of Agriculture, Food & Rural Affairs, Vineland Dr. Sarah Jandricic is the greenhouse floriculture IPM specialist for the Ontario Ministry of Agriculture, Food and Rural Affairs (OMAFRA) since 2015. Her career in floriculture entomology has led her down the east coast, gaining experience with managing floriculture pests from New York State to North Carolina. Sarah has a continuous presence in Greenhouse Canada magazine, the Canadian Greenhouse Conference, and runs the ONFloriculture blog, to help keep growers informed about pest control advances and pest issues facing the industry. Sarah is stationed at Vineland and can be reached sarah.jandricic@ontario.ca.

STEVE JONES

Local Leaf Farms Inc.

With a career spanning investment banking to being a National Director, Marketplace at BDO Canada and a Senior Partner at the BDC in its management consulting practice, Steve had been building the model for Local Leaf Farms for several years before launching the company in 2019. His focus on developing core ESG values at the foundation of the company lead to a model of decentralized production facilities that increase multiple sustainability factors for his retail partners, while delivering optimal freshness, shelf life and product quality.

LAXMI KHADKA

Vineland Research & Innovation Centre

Laxmi studied international horticulture with a major in phytopathology and entomology at the University of Hannover, Germany and continued at the Department of Plant Agriculture at the University of Guelph. In Germany, her research focused on optical manipulation on insect pests and their natural enemies under greenhouse conditions. At the University of Guelph, she studied the effect of volatiles on host recognition and ovipostion behaviour of spotted-wind drosophila. Apart from academic studies, Laxmi has hands-on experience working in the horticultural sector in Nepal for three years and on a vertical farm in Canada for one year. Currently, she is a research technician at Vineland Research and Innovation Centre working on the development of thrips management strategies using different fertilizer rates and biostimulants in the greenhouse.

EDWIN KROON

Lion Laser Systems

Edwin Kroon was Dutchdesigned and built in 1985. He studied animal sciences at the Wageningen University and fell in love with Biomimicry without knowing it. Inspired by nature’s 4 billion years of ‘free’ R&D, Edwin found in lasers his tool to recreate nature’s micro and

nanostructures; aiming to copy some of the neat features like water repellance (hydrophobic), water attracting (hydrophilic) or the metallic-like colour of a peacock or butterfly. These colours can be created without any pigments or paint, just by playing with light. Edwin’s previous dream has come true: shooting down pesky little insects with lasers. Edwin’s current dream would be to build portable lasers: one for in the bedroom and on the sailboat.

ROSELYNE LABBE

Agriculture & Agri-Food Canada

Dr. Roselyne Labbe is a research scientist in greenhouse entomology at Agriculture and AgriFood Canada’s Harrow Research and Development Centre (HRDC). Her research team aims to identify both the most effective and sustainable ways to manage the diversity of pests present within Canada’s greenhouse and vertically farmed crops. This includes ongoing work to assess and develop crop protection tools such as novel biological control or reduced-risk agents and incorporating new technologies such as the sterile insect technique and artificial lights to optimize crop protection.

BRYAN LACHAPELLE

B4 Networks Inc.

As president and founder of B4 Networks, Bryan is committed to providing excellent service and value to his clients and a stable, rewarding workplace for his employees. B4 Networks has been named as one of Canada’s 50 Best Managed IT Companies four consecutive years. Bryan and his team prioritize accessibility and client communication – taking time to answer questions and explain solutions in clear, easy-tounderstand language.

JASON LANOUE

Agriculture & Agri-Food Canada

Jason Lanoue holds a Ph.D. in plant biochemistry and physiology from the University of Guelph where he studied the interactions between light

quality and sugar movement in tomato plants. Jason is a postdoctoral researcher with Agriculture & Agri-Food Canada based at the Harrow Research and Development Centre. There, he works with a team focused on developing novel lighting strategies to improve plant production and energyuse efficiency. Jason is currently focused on developing dynamic 24-hour lighting strategies for tomatoes, peppers, and cucumbers using LEDs to reduce peak energy consumption. Earlier this year, Jason was named one of the Top 4 Under 40 by Fruit and Vegetable Magazine in the Canadian agricultural field for his work on dynamic 24-hour lighting.

KAI-SHU LING

USDA-Agricultural Research Service, U.S. Vegetable Laboratory

Dr. Kai-Shu Ling is a research plant pathologist (virology) at the United States Department of Agriculture–Agricultural Research Service (USDAARS), U.S. Vegetable Laboratory in Charleston, SC, USA since 2004. Dr. Ling received his Ph.D. in Plant Pathology (Virology) from Cornell University in 1995. As a research plant pathologist in USDA-ARS, he built his research program in focusing on greenhouse emerging viral diseases of vegetable crops. He leads a productive research program in disease diagnosis, virus detection, characterization and management of those emerging and important viral diseases, including tomato brown rugose fruit virus, pepino mosaic virus and several viroids on tomato and cucumber green mottle mosaic virus on cucumber. Dr. Ling has published over 100 peer-reviewed articles and served as a mentor for a number of international visiting scholars, postdoctoral research associates and college students over the years.

ROBERTO LOPEZ

Michigan State University

Dr. Roberto Lopez is an assistant professor and controlled environment/floriculture extension

specialist with a 45% research, 30% teaching, and 25% extension appointment in the Department of Horticulture at Michigan State University. His research focuses on propagation and production of young and finish plants (floriculture, leafy green, and culinary herb crops) in greenhouses, growth rooms/containers, warehouse-based plant factories, and vertical farms. The primary objective of his research is to determine how light (quantity, quality, and duration), substrate and air temperature, and carbon dioxide in controlledenvironment agriculture (CEA) production influences crop timing, rooting, yield, quality, flavor, nutrition, and subsequent performance.

WILLIAM D. LUBITZ

University of Guelph

Dr. William David Lubitz is an associate professor at the University of Guelph, School of Engineering. Since starting at the University of Guelph in 2006, his primary research interests have been related to environmental fluid dynamics, renewable energy systems including wind, hydropower and solar energy, and energy processes in agriculture. Dr. Lubitz is currently involved in several research projects investigating energy efficiency of production greenhouses, in order to identify methods of reducing energy inputs, controlling growing conditions and reducing exposure to fossil fuels. He is also currently conducting research on noise and light emissions from agricultural facilities. His overall goals are to contribute to improving the sustainability of food production while reducing environmental impacts.

BRIAN LYNCH

Vineland Research & Innovation Centre

Brian Lynch obtained his B. Eng., M.A.Sc., and Ph.D. degrees in aerospace engineering from Carleton University in his hometown of Ottawa, Ont. He spent time as a research associate at the Canadian Space Agency while completing his doctoral research related to smart actuators for spacecraft

systems while also working on various projects related to robotics for planetary exploration. Following the completion of his graduate studies, Brian joined the Mining Systems Laboratory at Queen’s University where he worked on robotic systems for exploration and prospecting with a focus on searching for water and other minerals in space environments. He subsequently relocated to the Niagara region to join Vineland Research and Innovation Centre as a research scientist, where he currently leads the Field Robotics team within the Automation group. Brian is currently the project leader for the Automated Cucumber Harvesting project as part of Agriculture and Agri-Food Canada’s Automation Cluster. His team focuses on computer vision and robotics, with the aim to spearhead novel research and development in reducing labour costs for the horticulture industry.

SHAWN MALLEN

A.M.A. Horticulture Inc. Shawn Mallen is the manager of hydroponics at A.M.A. Horticulture Inc. He works with customers to find hydroponic solutions for tomato, pepper, cucumber, eggplant, berry, leafy green and organic crops. When a solution doesn’t exist, Shawn works closely with customers and suppliers to design and implement custom solutions that suit the grower’s unique needs. In his role, Shawn works with a large number of European companies and introduces their products to the Canadian and U.S. markets. He regularly visits suppliers in Europe, bringing knowledge and innovation home to A.M.A. and its customers. Since 2007, Shawn has been expanding A.M.A.’s hydroponics business, and has brought significant horticultural expertise to the A.M.A. team. Shawn has more than 20 years of greenhouse experience, ranging from cut flowers, potted and holiday crops, bedding plants, vegetable propagation and production in the capacity of Grower and General Manager. He has an understanding of crop planning and greenhouse design, and expertise in urban agriculture and

organic growing. Shawn received his diploma in agriculture business from the University of Guelph.

CARA MCCREARY

Ontario Ministry of Agriculture, Food & Rural Affairs

Cara McCreary is the greenhouse vegetable IPM specialist with the Ontario Ministry of Agriculture, Food and Rural Affairs and is working out of Agriculture and Agri-Food Canada’s Harrow Research & Development Centre. Cara joined the ministry in January 2015 from a position as a research associate in the Edible Bean Program at the University of Guelph Ridgetown Campus. Prior to joining the University of Guelph, Cara spent six months as the Acting Field Crop Entomologist at OMAFRA. She also has several years of experience as a greenhouse scout and supervisor, and as a horticultural advisor. Cara has a Master of Science in Environmental Biology from the University of Guelph, a Bachelor of Commerce in Business Administration from the University of Windsor, and an Associate Diploma in Horticulture from the University of Guelph. During her Master’s degree, she studied the life cycle, temperaturedependent development and economic impact of an agricultural pest, the bean leaf beetle. In her current role with the ministry, Cara has worked extensively on emerging pest issues, such as pepper weevil and tomato brown rugose fruit virus. Pest management has been her focus and passion through both work experience and education.

MITRA MIRHASSANI

University of Windsor

Mitra Mirhassani is an associate professor at the Electrical and Computer Engineering Department at the University of Windsor. Her research interests include hardware security, Trojan detection, and quantum-safe encryption. She and her team are investigating a range of hardware security issues such as detecting malicious Trojan Hardware, Efficient implementation of Post-Quantum Algorithms, and implementation of

Public Unclonable Functions.

Mitra Mirhassani is a senior member of IEEE and is serving as the Associate Editor for IEEE Access Journal and Guest Associate Editor of IEEE Transaction on Computer-Aided Design.  She is the co-founder and co-director of the SHIELD- Automotive Cybersecurity Centre of Excellence. She was the advisor to the WiCyS (Women in Cybersecurity) Windsor chapter in 2019, and won the leadership award for the groups’ activity in promoting the field in 2020. She was recognized as one of the Top Women in Cybersecurity by IT World Canada in 2020 and won the 2020 Outstanding Achievement award, and  2021 Donald S. Wood Leadership Award in cybersecurity in 2021 from the APMA Cybersecurity Institute.

MIGUEL MORI

Hendriks Greenhouses/Freeman Herbs

Miguel Mori has held the position of e-commerce manager for Hendriks Greenhouses & Freeman Herbs for the last 1.5 years. During this time, he has managed a dedicated team focused on dropship fulfillment for Costco.ca and operation of an online retail service Tropi Co (Tropico.ca). These fulfillment services utilize Canada-wide postage of plant material utilizing sustainable processes.

Prior to this role, Miguel was the Marketing & Growth Manager for Mori Gardens. During this time, he coordinated an online platform for garden centre sales through pickup and delivery, an online garden design course, seasonal vendor markets and in-person seminars through online ticket purchases. Miguel came into these roles after completing his masters in business from the University of Calgary, focused on innovation and marketing and the Rozsa Arts Management Program (RAMP) through U of Calgary Executive Education and the Rozsa Foundation.

ZELDA PIETERSE

Vineland Research & Innovation Centre

Zelda Pieterse was born in beautiful, biodiverse South Africa, where she completed her PhD in Plant Pathology at the University of Pretoria. Her research focused on fungal diversity in the Succulent Karoo Biodiversity hotspot. After immigrating to Canada in 2018, she joined Vineland Research and Innovation Centre as a part of the Biological Crop Protection team. Since then, she has worked mainly in entomology. She is currently a postdoctoral researcher with the University of Guelph, although she is still residing on VRIC’s campus in Vineland, Ont. At present, her research focuses on evaluating photosensitizer formulations, that can be used in existing IPM programs, for use against common greenhouse pests. This research is done in collaboration with industry partner, Suncor Energy Inc., and their AgroScience team. The research is partially funded by a Mitacs Accelerate Fellowship. When she is not rearing, counting or killing pest insects, she enjoys spending time in nature, hiking, dreaming of mountains, poetry and exploring Niagara’s wineries. Currently, her top bucket-list item is traveling by train from east to west on VIA Rail’s Canadian tour.

BRIAN POEL Fluence

Growing up on a farm in rural Ontario, Brian has spent his life immersed in plants. While working in vegetable variety development in Leamington, Ont., he saw the emergence of supplemental lighting and the need for proper experimentation to guide growers into making the best decisions for crop production. Brian shifted his focus to horticultural lighting and completed his master’s degree at Michigan State University where he compared LED lighting with HPS lamps for greenhouse ornamental production. He currently manages research projects for Fluence, specifically supporting internal cannabis

research initiatives.

Brian continues to help lead the way in understanding and applying plant growth and developmental responses to light spectrum and intensity. He specializes in conducting research and grower experiments focusing on increased cannabis yield and quality by maximizing photosynthesis and manipulating secondary metabolite production. Brian is also investigating how light works in concert with other inputs to maximize production efficiency.

ZAMIR PUNJA

Simon Fraser University Zamir Punja completed a BSc degree in Plant Sciences at the University of British Columbia in Vancouver, followed by MSc and PhD degrees in plant pathology from the University of California, Davis. He then joined the Campbell Soup Company and worked jointly with North Carolina State University in Raleigh on management of carrot diseases. Zamir was appointed Manager of Plant Biotechnology research for Campbell’s in Davis, California to develop innovative methods for crop improvement. He joined Simon Fraser University in 1989 as Associate Professor and was promoted to Professor in 1996. His research interests include the etiology and management of plant diseases on vegetable and horticultural crops, and the applications of plant biotechnology for disease management. More recently, his work has shifted to cannabis. His group has described a range of previously unreported pathogens affecting the crop and various methods for disease management have been evaluated. He is a Fellow of the Canadian Phytopathological Society. Zamir has received numerous research and teaching awards, including the Sterling Prize for Controversy for his work on GMO foods. He was Editor-in-Chief of the Canadian Journal of Plant Pathology for 18 years. His research has been funded jointly by NSERC (Discovery, Strategic and CRD’s) and various industry partners. Zamir’s

research group currently focuses on cannabis pathology and methods to improve quality of greenhouse-grown cannabis.

ISHTIAQ RAO

Crop Defenders Ltd.

Dr. M. Ishtiaq Rao has a Ph.D in entomology and is the CEO of Crop Defenders Ltd. He began his career in biocontrol in 1994 by producing Trichogramma spp. for the Commonwealth Institute of Biological Control. In 1997, Dr. Rao founded the first ever biocontrol company in Pakistan, eventually servicing 60,000 acres of sugarcane, cotton, and vegetable crops using his biocontrol products. He brought his biocontrol expertise to Canada in 2007 when he founded Crop Defenders Ltd. Crop Defenders has become one of the fastest growing biocontrol companies having more than 50 employees with local production of bumblebees, beneficial parasitoids, predators, and entomopathogenic fungi. He has been an invited speaker to various industry conferences including conferences hosted by the International Biocontrol Manufacturers Association (IBMA), the International Organization for Biological Control (IOBC), and the Association of Natural Biocontrol Producers (ANBP).

JOSE RINCON

Vineland Research & Innovation Centre

Jose Rincon has a Bachelor of Science degree in Electrical Engineering from Texas A&M University, and a Masters of Science in Electrical and Computer Engineering from the University of Waterloo. During his graduate studies, he joined the Waterloo Signal Processing Lab to develop algorithms to facilitate breast conserving surgery using preoperative 3D MRI. After graduation, he moved to the Niagara Region to join Vineland Research and Innovation Centre as a Computer Vision Engineer, where he develops novel computer vision/machine learning/AI algorithms with the aim to reduce labour costs for the Canadian horticulture sector.

ROSE SEGUIN

Sollum Technologies

Rose Séguin is an agronomist specializing in controlled environment agriculture, with previous experience in indoor agriculture, agricultural innovation systems, and agricultural development in remote areas of Canada. She holds a bachelor’s degree in agro-environmental sciences and a master’s degree in bioresource engineering from McGill University. In her role as an agronomist at Sollum Technologies, Rose works with growers to implement dynamic lighting strategies over various greenhouse crops, analyze production data and track progress towards the production targets.

DANIEL TERLIZZESE

University of Guelph

Daniel Terlizzese recently graduated from the University of Guelph with an honour’s undergraduate degree in biological science. His curiosity was sparked after completing an undergraduate research project aimed at exploring the influence of light quality on cannabis production and he is now continuing his studies through an MSc. program in environmental science under Dr. Youbin Zheng at the University of Guelph. Daniel’s goal is to combine his passion for growing vegetable crops with his interest in optimizing greenhouse plant production and crop yield. Light’s overall role in plant productivity, and the recent advancements of LED lighting, inspired him to focus on optimizing the light environment for greenhouse vegetable crops. Daniel aims to explore the light environment within the crop and directly contribute to industry-based growing practices through his research.

AMANDA THOMSEN

Kiss My Aster

Amanda Thomsen is an author and Green Profit columnist from the Chicago Suburbs. She opened her own garden center earlier this year.

KENNETH TRAN

Koidra Inc.

Kenneth Tran is the founding CEO of Koidra. Koidra is an AgTech startup with a mission of transforming greenhouses and sustainable agriculture through innovations in AI and IoT. It provides IoT Suite and λuto Growing platforms for indoor farms to operate more autonomously and more efficiently. Before founding Koidra, Kenneth was a Principal Applied Scientist in the Machine Learning Group, Microsoft Research. In 2018, he led a cross-organization research team winning the 1st autonomous greenhouse challenge, organized in the Netherlands. His Sonoma team was the only AI team that outperformed the expert Dutch growers with 6% increase and yield and 17% increase in net profit. Kenneth’s expertise and experience includes AI algorithms with a bias for whole system optimization. Kenneth received his Ph.D. in Computational & Applied Mathematics from The University of Texas at Austin in 2012.

ELS VANBECKEVOORT

SanEcoTec Ltd.

With more than 25 years of experience in leading research and development teams, Els is co-founder and CEO of SanEcoTec, an awardwinning water quality analytics company and recognized leader in science-based water innovation for sustainable development. With a team of water engineers and scientists in North America and Europe, SanEcoTec has developed the Water Health Index, a digital water quality management platform using automated monitoring, machine learning and AI software. The Water Health Index was developed for and tested with greenhouse owners and growers. SanEcoTec is at arm’s length from chemical and equipment suppliers providing market-tested, science-based solutions for water; now and for the future.

MARC VAN IERSEL

University of Georgia

Dr. Marc van Iersel grew up in the Netherlands and received his PhD from the University of Arkansas in 1994. He has been with horticulture department of the University of Georgia since 1995, where he now holds the Dooley professorship. His research focuses on cost-effective supplemental lighting technologies in greenhouses and vertical farms. He is the director of project LAMP (www.hortlamp.org), a $5 million, U.S.-based research project that brings together plant scientists, engineers, and economists to develop profitable supplemental lighting strategies. In 2017, he co-founded Candidus, Inc. (www.candidus.us) to help bring novel lighting strategies to the greenhouse industry. Dr. van Iersel has published more than 145 scientific papers and has given invited lectures about his research around the world, including in Italy, Spain, Taiwan, Kenya, Canada, Chile, and Brazil.

KEVIN VERHOEF

Verhoef Electric Ltd.

Kevin is the owner of Verhoef Electric, located in Jordan, Ont. that has proudly serviced the horticultural industry for over 30 years, offering electrical solutions independent of any specific automation system. The company is known for its community involvement and generous charitable support.

CHRISTOPHER WEISENER University of

Windsor

Dr. Christopher Weisener is a professor at the University of Windsor in Ontario. He is an established multidisciplinary researcher at the Great Lakes Institute for Environmental Research (GLIER) and is recognized for his contributions in the field of environmental geomicrobiology. His research programs link multidisciplinary themes (i.e. microbiology, geochemistry and molecular ecology) within both applied and fundamental research frameworks for habitat restoration. He specializes in developing cutting edge science which correlates an

understanding of microbial community function influenced by contaminate stress at the terrestrial/aquatic interface. In particular, his group focuses on the mobility and bioavailability of nutrients (e.g. carbon, nitrogen, sulfur and phosphorous) and toxic metals in aqueous sediments. This research helps inform design and sustainable solutions for waste and water management and ecosystem services.

MELANIE YELTON

Plenty Unlimited

Melanie Yelton is the director of Plant Sciences at Plenty Unlimited where she channels research and development team findings to build the world’s highest output vertical indoor agriculture facility in the world. Previously, Melanie’s research focused on growing plants below LED luminaires to optimize growth, flavour, and quality. For more than two decades, she served as a lecturer and scientist at Stanford University studying plant signaling in alfalfa and corn. Melanie also directed sequencing research at the Stanford DNA Sequence and Technology Center. Melanie earned a PhD in plant molecular biology from the University of California, Davis, a MS in biochemistry from the University of South Carolina, and a BS from Virginia Tech. She holds a patent for work involving filamentous fungus.

Celebrating 50 Years of Flowers

Ontario Flower Growers Co-operative Ltd. marks its 50th anniversary this October. It has changed, and survived, says Jack VanderMaas, CEO, Mississauga.

Ontario Flower Growers Co-Operative (OFG) started with a Dutch clock auction selling cut flowers and potted plants 50 years ago, and today it’s run by a Dutchman.

“OFG is so much more than just a flower auction today,” says CEO Jack VanderMaas.

OFG is now more diverse, sales include regular auction gallery clock sales, online flower sales and OFG’s new wholesale company, OFG Marketplace.

Ontario Flower Growers Co-operative (OFG) was established when 63 southern Ontario growers committed, as shareholders, to implement a centralized, one-source, cost-effective process to market and sell their products to florists serving the Greater Toronto Area (GTA) and surrounding areas.

Growers needed an efficient, effective way to sell fresh-cut flowers and potted plants. With many growers having Dutch roots, “They took the concept

ABOVE

of a flower auction from back in Holland to start their own flower auction here,” VanderMaas says.

Growers in Holland had established success in marketing flowers and potted plants by selling from a central point, using the Dutch clock system and an auctioneer. The Dutch clock auction method runs in reverse to a regular auction, the auction opens at an asking price above market value and gradually reduces the bid price until it sells. The process repeats until the last lot is sold. Growers can protect their investment with what is called a buyback bid price.

VanderMaas was a youth in Zeeland, Holland in 1972. After graduating as a floral designer, he worked as a floral designer in Heinkenszand, Zeeland and then immigrated to St. Catharines, Ontario in 1988. He worked for wholesalers for 13 years, delivering and selling flowers to florists. In

CEO Jack VanderMaas says OFG’s sales now include auction gallery clock sales, online flower sales and OFG’s new wholesale company, OFG Marketplace.

PHOTO: ANDREW SNOOK.

172,000-square-foot warehouse is the size of three football fields. Nearly 40,000 square feet is a heated, allweather loading facility.

OFG shareholders had selected Mississauga as the centre of operations, close to the international airport, major transport links and the GTA.

2001, he started his own wholesale company with his own “bucket” truck.

In December 2017, VanderMaas was appointed the new CEO of Ontario Flower Growers.

OFG shareholders had selected Mississauga as the centre of operations, close to the international airport, major transport links and the GTA.

OFG first opened on Dorman Drive in Malton with Mildred O’Brien as general manager. In 1975, it moved to larger premises on Ambler Drive in Mississauga. With the need for more space in the fall of 1985, OFG moved to the current location on Mid-Way Boulevard in Mississauga.

OFG has established itself as the “hub” of the flower industry. A number of floral wholesalers have moved to this area. The

Greenhouses and seasonal fields, mostly in southern Ontario, supply the OFG. Mornings, growers are cutting their fresh flowers and preparing potted plants. Growers drive to the OFG warehouse and deliver their products in the afternoon or evening. As product arrives, OFG workers inventory each shipment with grower sheets to describe the merchandise, its species, grade, and quantity.

As well, fresh flowers also arrive from the airport, imported from western Europe, Africa, Central or South America.

The OFG has fewer shareholders today, only 37. They elect directors and share operating costs. VanderMaas says, “Some (shareholders) retired. We lost some to cannabis. Plans of growers simply didn’t fit the co-op model.”

Only shareholders and guest growers are permitted to sell at OFG. “A shareholder can bring in whatever they grow but OFG supply management can say ‘not now’ to a guest growers’ product. Growers, shareholders and guest growers pay a

TOP The OFG hosts a full house for a regular auction gallery clock sale. BOTTOM Since the start of the COVID-19 coronavirus pandemic, the OFG’s sales strategy has diversified greatly with much of their sales going online.
PHOTO: ANDREW SNOOK.
PHOTO: OFG.

ABOVE

With the need for more space in the fall of 1985, OFG moved to the current location on Mid-Way Boulevard in Mississauga.

commission but guest growers don’t share in the profit when there are payouts.”

About 500 two-metre-tall steel carts are available for organizing the incoming shipments and later dispersing the outgoing products. When it’s labelled and loaded, each cart is photographed. The photo and data about the contents of the cart are posted shortly before the auction.

Methods to sell grower fresh product include OFG regular auction gallery, auction remote and Pre-auction Purchasing (PAP)

The big auction centre has 53 employees working in three shifts today.

CHANGED BY COVID

The CEO attributes most of the changes to COVID-19 and to increased operating efficiency. The sorting and dispersing process is much faster and easier today, requiring less labour than it did before.

Ontario declared a state of emergency due to COVID-19 on March 17, 2020. Social distancing, protective face masks and other measures were mandated for the next 27 months.

“That affected a lot of things. At first, we wondered how to handle it. There were no auctions for about eight months,” says the CEO. “We changed. We sell differently today and it turned out to be a very successful change.”

For decades, flower growers and buyers had rubbed shoulders daily in the 308-seat central auction gallery. Monday to Friday sales began at 6 a.m. sharp. Depending on volume, auctions lasted one to three hours.

From the left, carts loaded with cut flowers rolled in front of

the buyers sitting in the gallery. Other carts rolled in from the right, loaded with potted plants. A drag chain under the floor helped staff tow in the carts. Buyers placed electronic bids from keypads mounted to the lecture-theatre desks. Each time, one of the giant overhead clocks stopped to record the bid and price. The buyer could choose to take a single bucket of flowers, a tray of plants, or as many as the cart carried.

The downward price roll resumed and continued until that collection of flowers, perhaps 50 buckets of matching roses or tulips on a cart, was sold out. Then the cart rolled away to the other side of the building for dispersal to the waiting carts of buyers.

Like a brick, Covid hit that smoothly running system, and petals flew everywhere for a while.

“Now it’s a bit different here,” Jack says. “We slowly went back into the auction format in September 2020, with two auctions a week, Tuesdays and Thursdays, because people were asking for it. There’s still a need for a physical auction, and it’s going fairly well. I would like to bring it up to three days a week, but I don’t think it’s time for that yet.”

The second marketing approach, Shop the Clock (STC) began pre-Covid. STC sales were one day a week. As Covid restrictions on masking and distancing developed, buyers abandoned their cherished gallery seats in favor of online purchases from home or the office. Today, online sales, four days a week, dominate the OFG sales volume. Grower product is listed on OFG’s STC website; customers make purchases online. Product is delivered to OFG and made ready for customer pick up.

PHOTO: ANDREW SNOOK.

ABOVE

OFG’s first board of directors. From left: Peter VanWees, John Hofland, Bill Brownridge, Don Newland, Mildred O’Brien, Henry Dekker, Bob White, Grader John Dowling.

VanderMaas says, “At first it was a very cumbersome switch, but we made it work. We even got new customers because of it. The younger generation knows how to buy online; they are not afraid of it. The older generation wants to come in, to see the

“Online business has taken off. It’s definitely a game-changer. A lot of buyers like that option and, funny enough, we have more buyers today.”

product, to press the button at the auction, to take the chance or play the market. But, when we suddenly didn’t have a live auction, they didn’t have a choice. They still needed the product and they gradually started to buy their flowers and potted plants online, too.”

He adds, “Online business has taken off. It’s definitely a gamechanger. A lot of buyers like that option and, funny enough, we have more buyers today. They don’t have to get up at 4 a.m., drive here, and sit in the gallery to buy flowers. They can buy before breakfast and pick up the order whenever they want. Everything they purchased is on one or two carts, identified, and waiting to be picked up.”

NEW WAYS TO SELL

In 2018, the OFG implemented a direct wholesale business, OFG Marketplace.

“We needed to build a cooler for this, so we carved out an area of the building for potted plants and a cut-flower cooler. Buyers can go into The Marketplace, our wholesale division, and buy single bunches or single plants after the auction. You can buy by the bunch as well as by the pail or bucket. That helped us a lot, too, during the COVID pandemic,” he says. “We’ve been fairly successful with that. Sales there are still growing.”

Today’s CEO for Ontario Flower Growers Cooperative Ltd concludes, “It’s nice to know that, after 50 years, we are still around and still do almost the same thing we did 50 years ago, but much more efficiently. That’s a good thing, for everybody.”

PHOTO: OFG.

Making growing easier.

ENERGY CURTAIN advantages

Five important advantages of energy curtains in your commercial greenhouse operation

Greenhouse energy curtains are an important consideration in any commercial greenhouse operation, due to the ability to reduce energy costs year-round. Depending on the climate, you may be able to cut down your winter heating up to 50 per cent or even greater. Energy curtains can also be used in the summer months to cut down on electricity costs of constantly running your fans, and creating a more consistent greenhouse climate both day and night.

1. KEEPING HUMIDITY UNDER CONTROL IN YOUR COMMERCIAL GREENHOUSE STRUCTURE

Energy curtains, with the help of roof vents, can keep humidity balanced by both letting cool air in and simultaneously providing a barrier to prevent the crops from becoming exposed to too much cold air. If humidity levels are rising to an unacceptable level, you can open up the curtains slightly to reduce the humidity in your greenhouse.

2. ENERGY CURTAINS CAN FUNCTION AS SHADE IN THE SUMMER MONTHS

A huge advantage of energy curtains is the ability to use them all year-round. Depending on your crop’s light needs, you can use the curtains to adjust the light levels and temperature. The ability to provide shade with your greenhouse curtain system allows you to customize and maintain the ideal growing environment.

3. KEEPING YOUR GREENHOUSE CROPS HEALTHY BY PROVIDING A CONSISTENT GROWING ENVIRONMENT WITHOUT TEMPERATURE FLUCTUATIONS

4. GOVERNMENT INCENTIVES AND REBATES ON INSTALLING ENERGY CURTAINS IN YOUR COMMERCIAL GREENHOUSE

In North America and abroad, many government programs offer incentives for energy saving retrofits. These can apply on the municipal, state/province, or federal level. Learn what tax incentives and rebates apply to your region for upgrades that increase energy efficiency. Some of these programs can apply to the purchase and installation of greenhouse energy curtains; be sure to know what opportunities are out there.

5. RISING ENERGY COSTS ARE AN INEVITABILITY

We all know that energy costs aren’t likely to drop, and in the current economic climate are likely to keep increasing. Now may be a more important time than ever to get your energy overhead under control. The investment in an energy curtain

ABOVE

Energy curtains can be used in the summer to cut down on electricity costs.

Temperature fluctuations decrease plant health and can cause undue stress to your crops. To solve this, energy curtains can be programmed to open and close at the correct intervals in conjunction with environmental controls that measure indoor and outdoor temperature. This will greatly reduce any rapid temperature changes and keep the growing environment in your greenhouse structure consistent.

system may result in a quick payback depending on your energy costs. Energy curtains are not the only way to reduce your overhead costs – also consider blackout, shade systems, and greenhouse structure options.

Tyler Rodrigue is the director of sales and projects at Westland Greenhouse Solutions.

Growers know that when it comes to controlling and monitoring a production environment, a simple, flexible, sustainable control system is crucial. This is why you can depend on Reliable Controls. Our nationwide network of factory-certified Authorized Dealers will help you design, install, and commission a comprehensive control system paired with an intuitive, custom-tailored graphical interface. Take command of your precisely controlled environment. Generate tracking reports and analytics. Reduce your carbon footprint while improving productivity, quality, and serviceability.

To learn more about this cost-effective, Canadian-made solution, please contact a Reliable Controls Authorized Dealer near you.

IS A FOOD BOX PROGRAM THE RIGHT FIT FOR YOU?

Considerations and marketing tips to see if Community Supported Agriculture is a fit for your operation.

At the peak of the COVID-19 pandemic, Community Supported Agriculture (CSA) shares saw a surge of interest because people wanted to support local growers. Plus, 52% of Canadians said they would pay a premium for locally grown indoor produce. But how do you know if CSA is a fit for your operation?

Darren Stott with Greenchain Consulting specializes in building local and sustainable food supply chains. Stott shares advantages and disadvantages of a CSA model, how to assess your market, and finally, how to market your CSA if you choose to start one.

“Don’t get into this channel if you don’t want to get close to your customer. If you don’t want to be communicating and connecting with them,” Stott starts. “It’s about relationships, not just the food you produce.”

ADVANTAGES OF COMMUNITY SUPPORTED AGRICULTURE

CSAs work best for small- to medium-sized food

producers who want to sell their product directly to customers. A CSA model allows you to develop strong local relationships, has low startup costs, good margins, and is a growing service.

The CSA model - where customers sign up for CSA food box subscriptions over a few monthsallows your operation to receive money upfront so you can invest in your business at the start of the growing season. It also allows for consistent revenues. If the weather is poor, you might find low attendance and revenues with farmers’ markets and gate sales. With CSAs, if you do the hard work in the beginning of the season to sign up customers, it will pay off with consistent revenues during the season.

Finally, there’s flexibility. “We joke that customers get what they get, and they can’t get upset,” Stott says, explaining that most CSAs offer set boxes of whatever produce is in season instead of highly customizable options. Running a CSA also allows you to continue to do farmers’ markets, wholesale, or other activities with surplus product.

ABOVE Rocket Greens, run out of the Churchill Northern Studies Centre, offers a weekly subscription of fresh leafy greens year-round in Churchill, Man.

Considerations for CSA food box programs

Advantages

Develop strong relationships

Low start up costs

Operation receives money upfront

Good margins

Flexible for the grower

Higher average order size

Complementary to other distribution channels

Unsold product can be used elsewhere

Popular and growing service

Consistent revenues

Disadvantages

Small sector

Administration heavy

Additional costs

Customer service heavy

Large customer turnover

Profits are small

ABOVE

Cooler bags keep produce fresher longer and are a more sustainable option for your subscribers.

DISADVANTAGES

While there is a strong uptake in customers wanting to support local businesses, Community Supported Agriculture is a small sector. Growers must still diversify and not rely on one channel for distribution. Running a CSA is also administration and customer service heavy. Extra time and money are needed to manage customers, invoices, packaging, and software programs like Customer Relationship Management (CRM) or accounting tools.

“You have to invest in dealing with customers and keeping them happy and educated,” Stott says.

Another disadvantage is the large customer turnover. Stott explains it’s normal to expect a drop after each season and spend effort on re-signing customers to fill the gap. The expected turnover is why it is so important to invest in a customer experience and a high retention strategy early on.

HOW DO I ASSESS IF MY MARKET IS GOOD FOR A CSA FOOD BOX?

Starting a CSA food box may seem daunting at first, but you only need around 20 customers to get started. Stott explains how most CSAs start small and grow to 100

to 200 customers with time after experimenting and finding what works best.

Before launching your CSA, survey as many people as you can. Ask friends and family, get referrals through them, and aim for at least 20 people to give you feedback. Consider using social media, online community groups, and existing community channels to find other locals to talk to.

“CSAs for a lot of people, is something new to them. It does need explaining. It is very different from going to the grocery store or farmers’ market. You have to explain paying up front, how it’s picked up, and how they don’t get to choose what’s included in the box,” Stott says.

Assess your competition. Find out what CSAs exist in your area, what they’re offering, how long they have been in business, and if they’re doing a good job or if there is a gap in the market for your product. Analyze other direct marketing services like farmers’ markets, farm stands, and gate sales that also compete for a similar customer base. Greenhouse growers also benefit from an extended growing season compared to outdoor growers - is there an opportunity in the shoulder seasons to capture some of that market?

Behind Canadian food? We’re behind you.

We’re FCC, the only lender 100% invested in Canadian food, serving diverse people, projects and passions with financing and knowledge.

Let’s talk about what’s next for your business.

FCC.CA/FOOD DREAM. GROW. THRIVE.

CSAS STILL THRIVE IN COMPETITIVE MARKETS

The Fraser Valley in Lower Mainland, B.C. is a good growing region with multiple grocery delivery businesses, farmers’ markets, and dozens of CSAs. Stott shares many local CSAs in the region still saw double-digit growth over the past two years despite being in a competitive market.

“Even if you’ve done your market research and find out there’s a lot of CSAs and farmers’ markets, that doesn’t mean the opportunity isn’t there,” Stott starts.

“It doesn’t matter what your competition is like, you’ve got to give it a try and as long as you’re offering a better product and a better service then there’s no reason why you can’t be competitive.”

HOW DO I MARKET MY CSA?

An additional benefit to conducting market research is building a customer base. When you’re ready to launch your CSA, you can reconnect with everyone who offered feedback and sign them up. “The best strategy is word of

mouth, making those connections and relationships,” Stott shares.

You can also market your CSA through a referral program (asking existing customers to refer friends), events, community groups, farm signage, social media, website and Search Engine Optimization (SEO), and flyers or postcards. It’s always nice to make sure people walk away with something in their hands.

“All this strategy is no good unless you have strong customer retention,” Stott reaffirms. The best marketing strategy is a customer retention strategy. It is easier to work on retaining existing customers and building strong relationships with the right customers than it is to start anew every season.

HOW DO I KEEP SUBSCRIBERS AND BUILD MY CUSTOMER BASE?

With the importance of customer retention top of mind, the next question becomes what are good retention strategies?

It’s simple. Provide an excellent service and offer high quality products,

consistency, and professionalism in all you do from how your box looks to how you communicate with customers. Most successful CSAs do not let customer attrition deter them and try hard to keep a strong base of loyal customers that will always stick around.

Another retention strategy involves a personal and insightful communications strategy. “Customers are subscribing to your CSA because they want to buy direct from the farmer, they want to have a relationship with you, they want to learn from experts like yourself,” Stott says. Consider sharing recipe suggestions, insight into how your operation works, and updates on how your small business is doing week to week. For many, your first customers might be your family and friends and they are interested in you as a person and want to see your business succeed.

On top of personal communications, use “360 communication” to keep customers in the know. From sign up to pick up - ensure your customer knows what to expect.

Also, offer customers the opportunity to get to know you better with site visits and online engagement. Use this time to understand your customer better too.

“Surprise and delight” customers with extra produce from time to time or small thoughtful touches like birthday surprises. Once you reach a certain threshold of customers (100+), it will become more important to invest in good CRM tools to keep track of customer orders, preferences, or extra notes like birthdays.

CONCLUSION

Community Supported Agriculture is a fit for producers who want to engage with customers, share their story, and aren’t deterred by higher administration workloads.

More information: Connect with Darren Stott directly or visit greenchainconsulting.ca for more examples on how food businesses can become greener and financially sustainable. Darren Stott shares these marketing tips and more in Growcer’s four-part webinar series on How to Start a Food Box Subscription Business with a container farm. Access the entire series, which includes a Q&A with a grower, by visiting growcer.ca/ workshops.

NEW PRODUCT SHOWCASE

Argus FOCUS

When you’re looking for consistency, repeatability, higher quality and greater yield... FOCUS is everything.

Introducing Argus FOCUS, an innovative software solution for cultivation optimization that provides you the information and tools you need to plan, assess and then steer your crops to better outcomes.

Go to ArgusFOCUS.com today to register for a demo and learn how we can help you improve your cultivation. arguscontrols.com

IPM

and Yield

Forecasting

Platform that greenhouse growers trust.

The ecoation IPM and Yield Forecasting Platform helps growers prevent pest and disease outbreaks, lower IPM cost, optimize resources and forecast yield with precision. Real-time actionable intelligence is extracted from a mountain of data collected daily to provide growers visibility, control and peace of mind. Data-driven decision-making through the platform increases labour efficiency, enables growers to bring consistency to their production, reduces cost, increases yield, and allows growers to negotiate better prices. Ecoation’s consultation services offered as part of the package guarantee success and maximize user benefits. www.ecoation.com/

PRO-MIX® HPO

New to the PRO-MIX® organic line of products, PRO-MIX® HPO provides a great growing environment to growers looking for a significant drainage capacity, increased air porosity and lower water retention. Formulated with fibrous peat moss and coarse perlite, it is the same superior-quality growing media as the famous PRO-MIX® HP®, but is now certified for organic growing. This growing media with active ingredients will improve your crops’ growth and yields, increase your plants’ resistance to environmental stresses, and help suppress root diseases. At every stage of your production, PRO-MIX® has an organic solution for you. www.pthorticulture.com/en/crops/ organic-crops/

Futur Vert’s FloraGreen LED Grow Light

Futur Vert’s FloraGreen LED grow light is specially designed for the next generation of vertical farming!

Available in 20w or 30w with ETL, DLC Horticulture certification, and IP65 wet location environment approval, our new LED grow light will be the best on the market for lettuce and microgreens. Our grow light is 60% higher in PPFD, 47% lower in power consumption, and 47% less in BTU. It is perfect for all year-round indoor greenhouse with its full spectrum you can produce more vegetables with less energy! Our new series is suitable for propagation period, vegetation. This light is perfect for your indoor garden with any kind of crop.It is water resistant and perfect for wet locations and comes with a 5-year warranty. FuturVert.com.

Geranium Interspecific Santana White Splash (Item # 20286)

Santana is a new interspecific geranium series that brings the heat! Much improved heat tolerance to traditional zonal types and exceptional performance at both retail and in the garden make the Santana series an easy choice in both containers and hanging baskets. Dark green foliage provides a striking contrast to the large, oversized blossoms. Santana also offers a full color range in a series that is well matched in flower timing and habit. Bench running this series will be a breeze! na.dummenorange.com.

MENNO® Clean

MENNO® Clean is a powerful cleaning product especially for the horticultural industry composed of benzoic acid (90 g/L). MENNO® Clean is ideal for effective, non-corrosive cleaning of:

• empty greenhouses after clean-out

• pots, trays, crates, trolleys, tables

• concrete floors

• tools, knives

MENNO® Clean is extremely stable in the jug and in solution over a long period of time. It has no odour and is environmentally safe. Menno Clean works by contact and effectiveness is dependent on dosage and exposure time. Application methods: foaming for longer lasting exposure, spraying, casting, dipping, brushing and in foot baths.

Available in 10, 200 and 100 L www.kams.ca

Lambert LM-18 organic mix is designed to promote effective and uniform seed germination. It is blended with premium fine Canadian sphagnum peat moss, fine perlite, organic wetting agent and organic fertilizer as a starting charge. The added amount of perlite helps create an ideal substrate for germination, plugs and seedlings by increasing air space and drainage. LM-18 is OMRI Listed® for organic production and available in standard formulation in various package sizes. www.lambertpeatmoss.com

Lobelia Magadi™ Compact Blue Bay

Gardeners will enjoy the unique splash pattern found all over these frothy blue lobelia blooms, and how the flowers hold even in Summer conditions. Plants are upright and compact with dense branches for super-attractive baskets. Magadi Compact is an early-flowering series from Selecta One with a lowmedium vigor and very good heat tolerance. The new Blue Bay variety is ready for early Spring sales in 2023. It joins other colors in this series: Blue, Dark Blue, White, Purple, and Blue+Eye. Selecta One www.selectanorthamerica.com

The Solarscape series is propagated by seed and provides unbeatable color in full-sun landscape beds and containers. The plants perform just like vegetative varieties with the flexibility of an input that’s available all year round making scheduling a breeze. Landscape growers will appreciate this option for nonbranded needs in-ground that grow strong in the sun. For the consumer, Solarscape is a great low-maintenance plant that provides high-impact color. The blooms have tropical appeal, with a satiny texture in vibrant, glowing hues. PanAmerican Seed www.panamseed.com

FPO

The new PRO-MIX® FPO is a fine grade, peat/coir-based organic growing medium with fine perlite that is ideal for the germination of herbs and vegetables. Its physical properties provide favorable conditions for the germination of seeds and the development of seedlings used as transplants for container or field production. PRO-MIX® FPO is the perfect solution for growers who require a growing medium certified for organic use. At every stage of your production, PRO-MIX® has an organic solution for you.

www.pthorticulture.com/en/crops/ organic-crops/

The Reliable Controls® MACHProView™ LCD is a powerful BACnet Building Controller (B-BC) and BACnet Operator Display (B-OD) which provides a fully customizable, highresolution graphical user interface called EQUIPMENTview. This freely programmable, touch-screen controller also features six universal inputs and outputs and communicates on industry standard topologies such as Ethernet, Power over Ethernet, Wi-Fi and EIA-485, using BACnet and Modbus protocols. In addition to temperature, the MACHProView LCD supports occupancy, humidity, CO2 and VOC sensing. www.reliablecontrols.com/products/ catalog/

The new SureShot series of petunia has been bred to Ball FloraPlant’s rigorous standards for a seven-day flowering time and matching plant habit, so all colors can be shipped to retail at the same time. Each variety mixes well together to create a range of color combinations. SureShot is ideal for all pot sizes as well as gorgeous hanging baskets. The series launches for spring 2023 retail sales in six colors: Blue Vein, Dark Blue, Dark Red, Magenta, White, and Blueberries & Cream (shown). Gardeners will appreciate the many blooms on each plant that last all season long. Ball FloraPlant www.ballfloraplant.com

Petunia SureShot™

Nominations now open for Canada’s Top Grower

Do you know of an outstanding cannabis cultivator currently employed at a Canadian LP? Someone who demonstrates deep understanding and passion for their craft? Who is sustainably minded, innovative, and an exceptional leader?

Nominate them for Grow Opportunity’s 2022 Canada’s Top Grower Award!

The judging panel this year includes George

Dickinson Jr., founder of CannaPro and co-founder of Growhaus Supply; Stacie Hollingworth, master grower of women-owned and operated Ontario craft LP, Safari Flower Co.; Jayson Goodale, long-time cannabis consultant and horticulturalist; and Dr. Mohyuddin Mirza, Edmonton, Alta.-based industry consultant.

The winner will receive an exclusive front cover profile in the Nov/Dec issue of Grow Opportunity magazine, as well as a guaranteed spot to participate as a featured panelist at the 2023 Grow UP Conference Growers Luncheon event, including an official award presentation.

Anyone looking to submit nominations is asked to do so on the Grow Opportunity website (growopportunity.ca/canadas-top-grower/) before August 31st.

ELIGIBILITY:

All nominees must be currently employed or operating at a Health Canada-licensed cannabis cultivation facility.

For more information on the awards program, visit: www.growopportunity.ca, or contact Grow Opportunity editor Haley Nagasaki at 519.410.0600 or email: hnagasaki@annexbusinessmedia.com.

Plant

Plant

COMING EVENTS

greenhousecanada.com

SEPTEMBER

Sept. 13-15

Salun du Végétal Angers, France salonduvegetal.com

Sept. 14-15

Grow West Coast Surrey, B.C. growwestcoast.com

Sept. 19-21

AmericanHort Plug and Cutting Conference Denver, Colo. americanhort.org/event/plug-andcutting-conference

OCTOBER

Oct. 5-6

Canadian Greenhouse Conference Niagara Falls, Ont. canadiangreenhouseconference.com

Oct. 19-22

CiB National Symposium Victoria, B.C. communitiesinbloom.ca/ symposium-awards

Oct. 27-29

PMA Summit Orlando, Fla. pma.com/events/freshsummit

NOVEMBER

Nov. 2-4

Expo Québec Vert Saint-Hyacinthe, Que. expoquebecvert.com/en/

Nov. 18-19

Green Industry Show & Conference Red Deer, Alta. greenindustryshow.com

JANUARY

JAN. 24-27

IPM Essen Essen, Germany ipm-essen.de

To submit an upcoming event, contact editor Andrew Snook at asnook@annexbusinessmedia.com.

CANADA CLASSIFIEDS

CLASSIFIED RATES: Minimum order $75.00 or 84¢ per word, word ads must be pre-paid. CLASSIFIED DISPLAYS: $72.00 per column inch. GENERAL INFORMATION: Payment must accom- pany order. Copy required on publication close date. All advertising copy subject to the approval of the publisher. Send order and remittance to: Classified Dept., Greenhouse Canada, P.O. Box 530, Donly Dr. S., Simcoe, ON N3Y 4N5 Canada

SALE

– Grower Retail Garden Centre

• 10 Acres in Midland, ON

• Good Financials/Established in 1980

• Unlimited Natural Gas/Well water/Hydro

• 10,000 sq. ft Retail/Greenhouse Area

• 6,000 sq. ft Greenhouse Production Houses

• 40 x 80, serviced shop/cold storage/warehouse

• 5000 sq. ft outdoor nursery area with shaded roof/drip irrigation/mulched

• Modern Executive Residence – 2100 sq. ft

• Modern Detached Garage 1300 sq. ft (3 car plus) serviced

• Set for Expansion

ADVERTISERS INDEX

Canadian Greenhouse Conference Benefits

I’ve always enjoyed trade shows and conferences. A chance to see new products and meet exhibitors new to our industry (and catch up with old ones, obviously). Or should I say “previous” exhibitors, rather than old. But to be honest, the seminars/ presentations have always been my favourite part. I love the opportunity to learn something new, particularly about subjects that have been around in our industry for ages. Botrytis for example – it’s a fungal disease with which we are all familiar, yet it continues to inflict significant financial losses and therefore attracts significant research. And there are always new snippets about it that come up. In July’s Inside View, we mentioned the Optima plant disease detection system for Botrytis developed in the Netherlands for potted plant crops. Fascinating. Who could imagine one small plant pathogen could create so much interest, knowledge and learning?

The Canadian Greenhouse Conference is just around the corner (October 5th and 6th), and it’s making a very welcome return to an in-person format. The theme for this year is “Onward.” The header on the Exhibitor pack says, “Explore the future of the greenhouse sector and find out how you can be on the leading edge of change.” Isn’t that great – for anyone with an ounce of curiosity, this has to present as positive, attractive, intriguing, and

“I love the opportunity to learn something new...”

exciting. All of which are wonderful characteristics of our industry all the time anyway. What a fantastic time to be starting out in the greenhouse sector. Sadly, COVID has still managed to leave its mark, and there will be no industry pre-show bus tours this year. Another favourite part of the CGC for me. (How many favourites is one allowed to have, I wonder!)

On a different tack, I was listening to one of Dr. John Campbell’s short talks on YouTube recently. A long-time nurse educator in the U.K., he has been presenting his independent views on government data, press articles and other information about the COVID pandemic for the last couple of years. In one particular session (6th July 2022), he was commenting on an article in the Daily Telegraph,

and data from the (U.K.) Office of National Statistics that noted that there were about 1,300 “excess deaths” per week in the U.K. These are deaths above what we’d expect from the 5-year average, and not attributed to COVID. The numbers presented represent a 15.6% excess. The question, of course, is ‘why?’ He goes to explore several possible causes that are being considered, including our overall response to the pandemic, lack of physical activity, lack of access to health care for other medical issues (particularly cancer diagnoses and treatments), increased risk of strokes and heart attacks postCOVID, increased autoimmune disease, and the cost of living crisis. Another of these, he suggests, may be stress, or rather our response to it. Campbell discusses the normal human responses to stress which include social interactions with friends, talking to each other and physical touch with other people; positive responses that we were unable to enjoy during COVID lockdowns, of course. Curious, eh? At the time of writing, there are calls from leading U.K. health professionals for a serious and extensive U.K. government investigation into this issue. (Incidentally, the issue is not confined to the UK, but is being observed in many other nations including the US and Canada, but the UK is the only one at the time of writing with confirmed data to support the findings.)

This got me thinking about the unseen benefits of in-person trade shows and conferences. Perhaps these are more diverse and significant than we have previously given consideration to. Of course, conferences present opportunities for life-long learning. After all, that is one of their main objectives. But maybe, events like the Canadian Greenhouse Conference really do provide un-measured but significant health benefits in terms of relieving stress for those attending? Perhaps the occasion to chat with one another, shake hands (!) and enjoy each others’ company is exactly what is needed after a pandemic that has isolated us all. One will never know, of course. But if you haven’t considered it already, perhaps get yourself down to the Niagara Falls Conventions Centre for something more than learning about new products. Onward (and Upward).

Turn static files into dynamic content formats.

Create a flipbook
Issuu converts static files into: digital portfolios, online yearbooks, online catalogs, digital photo albums and more. Sign up and create your flipbook.