The Adviser 1638

Page 1

GREAT ADVISER READING Special Kim O’Keefe Election Wrap Around Feature www.sheppadviser.com.au | ADVERTISING HOTLINE: 5832 8900 WEDNESDAY, NOVEMBER 23, 2022
Page 2 –
Special Kim O’Keefe Election Wrap Around, November, 2022. The Adviser

Word on the street is not happy

A PERFECT storm creating heavy road congestion, lengthy commuter delays and significant disruption to businesses, on the cusp of the busiest time of year, is brewing over Shepparton and Mooroopna.

Road closures effectively amputating the Fryer Street arm to the Midland Highway has caused an unhappy, if not angry, consensus on the street. Continued Page 10

Beautifully designed hub future proofs palliative care in Greater Shepparton

PROVIDING invaluable care, dignity and choice for people in the community who are experiencing life-limiting disease or terminal illness, GV Hospice Care’s new, state-of-the-art palliative care hub has officially opened and is ready to service

patients and families in need.

A beautifully designed, fit-for-purpose centre, the $5.4M hub features new clinics, consulting rooms for patients to meet with specialised staff as well as space for telehealth sessions and private moments to share with family.

With a purpose-made service area, featuring a lift, free medical equipment for patients which can be easily dispersed and stored, while onsite, overnight accommodation for nurses provides unique, 24-hour accessibility to care.

PERFORMANCE OF THE YEAR TURTLE POWER Sport Adviser PAGE 24 INSIDE: ■ Candidates Q&A | page 14 ■ Letters to the Editor | page 18 ■ Employment | pages 19, 20 + 21 ■ 7 Day TV Guide | page 24 No 1:1638 www.sheppadviser.com.au | ADVERTISING HOTLINE: 5832 8900 /SheppartonAdviser Delivered to an estimated 60,000 readers in print and online weekly Get FREE news, stay up-to date and subscribe to our digital edition straight to your inbox and never miss SCAN THE QR CODE AND SIGN UP NOW! WEDNESDAY, NOVEMBER 23, 2022
Continued Page 10
PROVIDING CARE, DIGNITY AND CHOICE... GV Hospice Care’s new state-of-the-art palliative care hub was officially opened on Thursday, November 17. Proudly unveiling the official plaque was (from left) GV Hospice Care executive manager Wendy Ross, GV Hospice Care president Jeanette Powell and GV Hospice Care vice-president John Beaver. Photo: Natasha Fujimoto
What’s on NEW Guide FEATURING EVENTS IN THE GV & BEYOND Our Gift to You Love from, Spend $149 or over on Najo Jewellery your free Bracelet, valued at $119 Only while stocks last T&Cs Apply Christmas GIFT WITH PURCHASE On NAJO jewellery purchases over AU/NZ $149/$169, 925 Sterling Silver tension bangle, valued at $139/$159 Shepparton Ph: (03) 5821 4679 • Benalla (03) 5762 6150 • www.purdeys.com.au www.suzannasheed.com.au A vote for your independent candidate is a vote for the Shepparton District community Results! Not Promises! Authorised by Dr Peter Eastaugh 347-349 Wyndham St, Shepparton BENDIGO LOOKING TO SELL YOUR CARAVAN? CALL OUR SALES TEAM FOR A PRE-PURCHASE APPRAISAL FREE AGREED VALUE PICK UP CALL: 5447 9977 $ PROMPT PAYMENT $ JAYCOBENDIGO.COM.AU
Page 2 – The Adviser Australia No.1:1638 Wednesday, November 23, 2022 CELLARBRATIONS SUPERSTORE AT KIALLA SHOP 22C RIVERSIDE PLAZA KIALLA, 8025 GOULBURN VALLEY HIGHWAY PH 03 8657 0694 SPECIALS AVAILABLE FROM 25/11/22 TO 27/11/22 Cellarbrations supports the responsible service and consumption of alcohol. Retail quantities only. No trade supplied. Limits apply. Cash and carry only. Prices include GST where applicable. Tobacco & Alcohol not sold to under 18’s. Images for advertising purpose only. VB 375ml cans only 30 Pack Carlton Dry 375ml cans and 330ml stubbies Great Northern 375ml 30 Pack Carlton draught 375ml 24 pack $45 ea 24 pack STRICT PURCHASE LIMITS APPLY ON ALL SPECIALS - SPECIALS ONLY AVAILABLE AT CELLARBRATIONS SUPERSTORE AT KIALLA RIVERVIEW DRIVE GOULBURN VALLEY HIGHWAY BUCKWORTH STREET RIVERSIDE PLAZA DEGANI’S KFC Superstore at Kialla NOW OPEN IN-STORE HOURLY, DAILY & WEEKLY GIVEAWAYS INCLUDING TV’S, ESKIES, FRIDGES, BBQS & MUCH MORE! Johnny Walker Red Label, Bundaberg Up, Bundaberg Red, Smirnoff, Gordons Gin, Jim Beam, Canadian Club, Capt Morgan 700ml .99 ea 700ml Johnny Walker Red 4.8% Bundy up 4.8% Bundy Red $.8% Jim Beam 4.8% vars CC & Dry vars 4.8%, Woodstock 4.8%, Highland 4.8%, Black Douglas 4.8% 10pk Jack Daniels 4.8% 10 Pack $37.99 10 pack ea $57.99 30 pack ea $46.00 24 pack ea $48.00 30 pack ea $32.99 ea All 10pk
The Adviser. Australia No.1:1638 Wednesday, November 23, 2022 – Page 3 Ride on Sav Blanc and Roa Boat Sav Blanc $5.99 ea Hardy’s VR 1L Range Brown Brothers Moscato Varieties Generation Wine OPEN HOURS Mon - Thurs 9.30am to 9pm Fri - Sat 9.30am to 10pm Sun 10am - 7.30pm Wolf Blass Grey Label varieties $24.99 ea Billsons 355ml 4pk varieties Absolut Vodka 1L varieties 4 pack 2 for $40 Whiteclaw Seltzers 10pk $37.99 10 pack ea $44.99 1L ea $7 $9.99 ea Only Grant Burge GB series Wine Grant Burge 5th varieties BLACK FRIDAY 3 DAY SUPER SALE BLACK FRIDAY 3 DAY SUPER SALE FRIDAY 25th, SATURDAY 26th & SUNDAY 27th NOV 2022 SPECIALS ONLY AVAILABLE AT CELLARBRATIONS SUPERSTORE AT KIALLA

Vote this Saturday and help shape Victoria

When you go to vote you’ll be given two ballot papers, a small ballot paper for the Lower House (Legislative Assembly) and a large ballot paper for the Upper House (Legislative Council). Read the instructions carefully.

Small ballot paper for the Lower House You must number ALL the boxes on this ballot paper. Put the number 1 in the box next to the candidate you most want to see elected. Then number all the other boxes in the order of your choice.

Large ballot paper for the Upper House For the Upper House you can vote in one of two ways. Either vote for a party or group by putting the number 1 in just one of the boxes above the line. Or vote for individual candidates by putting the numbers 1 to at least 5 in the boxes below the line. You may continue numbering more than 5 if you wish.

Where to vote

It is easier to vote in your own district, but if you will not be in your district on Saturday, you can vote at any other voting centre in Victoria. For information on where to find your nearest voting centre, please scan the QR code below or visit vec.vic.gov.au.

Who can vote

All Australian citizens aged 18 or over who have lived in Victoria for at least a month will be able to cast a vote at a voting centre, even if you missed the close of roll. If you are not on the roll, you should bring proof of identity with you.

Evidence of identity includes an Australian driver licence or learner permit, an Australian passport, a council rates notice or a current electricity bill showing your name and address.

Remember, voting is compulsory Voting centres open Saturday 8 am to 6 pm

Best-practice diagnosis at GV Health

TRAGICALLY 10 men die and 66 are diagnosed with prostate cancer on average, every day in Australia.

With 240K men in the nation currently impacted by the disease, there is a one in five chance that a male will be diagnosed in his lifetime.

While it is imperative that men over 50 commence regular screening, Goulburn Valley Health has acquired a new $180K Trans Perineal Biopsy (TPB) machine, to more accurately and safely diagnose prostate cancer.

With a significant number of patients previously having to travel to Melbourne for a TBP, the new procurement at GV Health relieves patients and their families of unnecessary stress and financial cost.

In recognition of the incredible generosity of the philanthropic groups, GV Health held on afternoon tea in gratitude on Friday, November 18 with prostate cancer survivor and MaleBag patron, David Parkin as special guest.

Expressing gratitude for the liberal donations, Goulburn Valley Health CEO, Matt Sharp said, “Men in our region will now be able to access best practice diagnostic services for when they are going through the initial phase of wondering, do I or don’t I have prostate cancer.

“The TPB is more effective and gives greater accuracy in terms of detection, is a lot less invasive and can also have benefits in long term treatment,” Mr Sharp said.

In a video message played at the afternoon event, GV Health Urologist Dan Lenaghan said,

Allowing for more accurate sampling of the whole prostrate with minimal risk of

“This equipment means a lot because without ...[it] a lot of men must travel to Melbourne for just a 30-minute procedure. Now...we will be able to do this biopsy locally for patients, it’s going to reduce delay, allowing earlier diagnosis which we know is critical for the management of these

NEWS
EXCEPTIONAL COLLABORATION AND GENEROSITY BRINGS BEST PRACTICE DIAGNOSIS FOR PROSTATE CANCER... In a special afternoon event on Friday, November 18, GV Health recognised the significant purchase of a Trans Perineal Biopsy machine. Pictured are representatives from the MaleBag Foundation, Freemasons Foundation Victoria, The Biggest Blokes Ever Luncheon, GV Health Foundation, GV Health and guests at the funding announcement. Photo: Natasha Fujimoto
Men in our region will now be able to access best practice diagnostic services for when they are going through the initial phase
Home
Kits in time for Christmas Select from • The standard Australian range • International series by Coopers • Thomas Cooper’s premium selection Order early to avoid disappointment 119 Corio Street, Shepparton Ph: 5821 2051 Make a stubby of beer for just 40¢ /electionsvic 131
@electionsvic
Goulburn Valley Health CEO, Matt Sharp
Brew
832 vec.vic.gov.au
Your vote will help shape Victoria NOV SAT 26 Find your nearest voting centre GREATER SHEPPARTON SECONDARY
COLLEGE
GSSC’s Early Commencement Program is setting up our senior students for success in 2023. Our Year 10 students embarking on their VCE Vocational Major and Victorian Pathways Certificate and Year 11s preparing for their final year of school are now getting a “heads start” by meeting their teachers and understanding their course work and assessments in the year ahead. Pictured are students Illias Azougay and Brooklynn Barry getting a taste for Year 12 English.
Welcoming Year 7s
Orrvale Primary School students were among many Year 6 students welcomed on campus in recent weeks. Our Transition Program provides incoming Year 7s a dayin-the-life experience of a GSSC student, showcasing our impressive art, science, cooking, music, dance and sport programs.

The gift of hope

VISION Radiology, Shepparton’s newest Radiology provider, is proud to support Horse for Hope (HFH).

HFH is a registered charity in the Goulburn Valley and relies on government, community and philanthropic grants, as well as corporate sponsorships, partnerships and donations to run their program of narrative-based, equine assisted therapy to those in need.

Colin Emmerson launched HFH in 2004 to offer an alternative to traditional counselling.

Narrative therapy seeks to be a respectful, non-blaming approach to counselling and community work, which centre people as the experts in their own lives.

“We believe communities have responsibilities to ensure all its members, children, young people, adults and families

are safe, thriving and hopeful,” Mr Emonson said.

Kristy Thomas, sonographer at Vision Radiology, is a Goulburn Valley local and first heard about the unique work of HFH through a local occupational therapist at Neurolinks, Nadine Holgate, who specialises in working with people with acquired brain injury.

SUPPORTING A GREAT CAUSE...Vision Radiology is proud to support Horse for Hope, who run a program of narrativebased, equine assisted therapy to those in need. Colin Emmerson launched HFH in 2004 to offer an alternative to traditional counselling. Kristy Thomas, sonographer at Vision Radiology, is pictured with ‘Peanut’ the pony. Photo: Supplied

Amy Turner, horse practitioner and community engagement/fundraising at HFH, took the time to give Kristy a behind the scenes tour of their beautiful 25-acre property and showed her what participants experience when given the opportunity to experience Equine Assisted Therapy.

Kristy thoroughly enjoyed the morning and explained, “Our aim at Vision Radiology is to contribute to delivering accessible and high-quality imaging services, to positively impact the health outcomes for all in the region. We at Vision are thrilled to be able to support the team at HFH to continue assist people, regardless of background, to access supports to feel seen, heard and valued”.

Encroaching on our freedoms

IN 2019, something significant happened whereby, for the first time, Australia’s democracy status was downgraded from ‘open’ to ‘narrowed’, in what perhaps should have been a stark glimpse at the ensuing years.

Pandemic and disaster rules aside, lockdowns and mandates put to rest, several decisions made by Governments have encroached on the freedoms of Australians. This year the State Government made headlines when the Department of Environment, Land, Water and Parks (DELWP) proposed new park regulations giving the body new authorities to control activities and areas in 51 parks across Victoria, 25 of which have had no previous restrictions, including Shepparton Regional Park.

The proposal includes fines of more than

$900 – or five penalty points – for bushwalkers caught walking on a non-designated track and more than $1,800 for climbing rocks, abseiling or hang gliding in a prohibited area.

This same year, new laws were passed in Victorian Parliament that will see peaceful protesters faced with fines of up to $21,000 or 12 months in jail for protesting the State Government’s logging activities.

From 2001 to 2021, Victoria lost 1.60Mha of tree cover, equivalent to a 25 percent decrease in tree cover since 2000, and 517Mt of CO²e emissions, according to Global Forest Watch.

NSW has passed similar laws with fines up to $22,000 for people protesting on public roads, rail lines, tunnels, bridges or industrial sites.

Australia is known for its ‘nanny state’ laws, legislating the toughest cycling laws globally,

enforcing plain packaging on tobacco products, smoking bans, and in some areas, local council’s charge for picnic permits to eat with friends. One hour could set you back $85.

Hunters have criticised amended legislation that they say stops them from sharing their kills with friends.

Controversially, a national road advocacy group have proposed that males should not be allowed to gain a driver’s license until they are 21 years old, following a series of high-profile deaths and serious injury crashes.

While the distance between People and Parliament contributes to progress being lost in translation, it is clear over 20 years, our free will has been encroached upon – that happened before 2020, without us ever noticing it.

No matter what side of the coin you are on,

IT’S TIME FOR CHANGE... Australia is wellregarded for its ‘nanny state’ laws, legislating the toughest cycling laws globally, enforcing plain packaging on tobacco products, smoking bans, and in some areas, local council’s charge for picnic permits to eat with friends. Photo: Supplied

one thing is certain – freedom in Australia narrowed in 2019 and it is becoming slimmer. What role does Government play in our lives, and on the eve of the state election, how should your representatives, at all levels of government, uphold your rights?

The Adviser. Australia No.1:1638 Wednesday,

NEWS
November 23, 2022 – Page 5
Shepparton CLOSING DOWN SALE Save a WHOPPING 50% OFF selected lines GET forEARLYIN the best buys for Xmas! Only while stocks last! SONY / PANASONIC Bridge Cameras PROMASTER Batteries, Filters + Memory Cards VARIOUS Frames, Albums, Travel Accessories $100 OFF RANGE VARIOUS Binoculars, Telescopes + Spotting Scopes 20% OFF CAMERA ACCESSORIES Tripods, Bags, Lighting + Flash Gear 30% OFF 50% OFF 33% OFF QUALITY USED CAMERAS + + ACCESSORIES AT MARKED DOWN PRICES Cnr Fryers + Maude Sts, Shepparton Ph 03 5821 3855 www.camerahouse.com.au

Winton Wetlands filtering flood waters

LAKE MOKOAN was an artificial lake, roughly 7km north-east of Benalla. It was created by diverting water from the Broken River and Hollands Creek into Winton and Green swamps. Construction began in the late 1960s and was completed in 1971.

Hundreds of thousands of trees within the swamp soon died across the lake and surrounding plains, killed by the flooding of the former swampland. The large, shallow lake had a very high surface area to volume ratio, resulting in extreme water loss through evaporation, and there were frequent toxic algal blooms requiring regular closures for recreation activities and causing livestock to become ill.

Although a locally popular water sports destination, the Victorian government decided to decommission the canals and lake to restore the landscape to a more natural wetland and woodland ecosystem. The restoration effort, the largest of its kind in the southern hemisphere, is expected to take at least 100 years. In 2010 Lake Mokoan site was officially reformed into the Winton Wetlands Reserve.

Currently, the reserve is at its highest water level recorded since 2016. In addition, inspections are showing the Wetlands have been highly effective in ‘cleaning up’ and delaying the flow-on of flood waters into the Broken River north of Benalla. While Benalla was faced with flooding six weeks ago, it is only recently that the outflow

FILLING UP...The Winton Wetlands reserve is at its highest water level recorded since 2016. In addition, inspections are showing the Wetlands have been highly effective in ‘cleaning up’ and delaying the flow-on of flood waters into the Broken River north of Benalla. While Benalla was faced with flooding six weeks ago, it is only recently that the outflow channel from Winton Wetlands has finally spilled water outside the reserve. Photo: Supplied

channel from Winton Wetlands has finally spilled water outside the reserve. Floodwaters upstream of Winton Wetlands were effectively held back long enough for natural drainage to occur more broadly across the region.

PERFORMANCE OF THE

A brilliant success

LAST weekend students from Goulburn Valley Academy of Ballet performed four shows of The Gypsy Princess, Peter And The Wolf and On Broadway at Westside Mooroopna.

The youngest students performed in one concert while all other students, aged seven years and up, performed in four shows.

“All the academy’s dance teachers are so proud of the students who performed with so much enthusiasm, energy and joy of dance. Every student did a magnificent job to get ready for their concerts a week earlier than planned due to flood damage and a change in venue. They showed such resilience and adaptability,” said Goulburn Valley Academy of Ballet principal Melanie Coats.

“It was delightful to watch students side stage dancing in the wings, inspired by senior students. A special congratulations to our award winners for this year Georgia Nugent, Alick Jarvis and Mikayla Urbanavicius.”

One star of the show, Charlotte Ryan aged six, was thrilled to take to the stage for the very first time.

“It was delightful, I loved watching the other students do their dances and I can’t wait until our next performance,” Charlotte said.

GV Ballet is now taking enrolments for new students for 2023. You can contact Melanie on 0407042098 or email gvballet@ gmail.com

NEWS Page 6 – The Adviser Australia No.1:1638 Wednesday, November 23, 2022
YEAR... Students from Goulburn Valley Academy of Ballet performed four shows of The Gypsy Princess, Peter And The Wolf and On Broadway at Westside Mooroopna. Garland Waltz dancer, Chiara Walker on stage. Photo: Supplied
The Adviser. Australia No.1:1638 Wednesday, November 23, 2022 – Page 7 Shepparton North www.fairleysiga.com.au Valid from Wed 23rd - Tues 30th November 2022. While Stocks Last. We reserve the right to correct printing errors. Images are for Illustration purposes only. Fairleys IGA Liquor supports the responsible service and consumption of alcohol. SEEDLESS WATERMELON Australian Australian Australian Mini Vanilla Danish 6 Pack Equates to 42¢ each Pork Striploins Ingham’s Super Crunch Boneless Wyngz 400g $1.25 per 100g The Candy Market Confectionery 150g Selected Varieties Single Sell $1.50 each XXXX Gold Cans 375ml x 30 Pack Skin On Salmon Portions DON Kabana BROCCOLINI TWIN PACK COS LETTUCE Ara Single Estate Wines 750ml VarietiesFris Vodka, Bond 7 Whisky or BeGin Gin 700ml Hamburger & Can of Coke or Water $169 kg $ 249 pack $1299 kg $9 per serve $ 249 bunch $ 299 pack $ 45pk $1299 ea $ 4 99 pack $1295 kg BAKED FRESH DAILY In Store $ 36 kg Mult i B uy 5 for$5 WHILE STOCKS LAST! $ 3799 ea 1/2 THAT’S Red Hot PRICE GREAT VALUE!

COLLABORATING TO CREATE A CONNECTION WITH THE FUTURE...

Tatura Primary School Students worked alongside local artist, Rachel Doller to create and paint a mural inspired by Lake Bartlett. From left, Aiden, Harry, Andrew and James from Tatura Primary school wonder what people will think of their work in the many years to come.

Tatura students creating a lasting connection

INSPIRED by art as a cultivar of ideas and feelings and with a distinctive visual language that is reflective of her everyday joys and fears, Rachel Doller is one of Greater Shepparton’s most recognisable artists.

With eye-catching colour and bold geometric shapes, Rachel’s exuberant art and murals can be found on walls and in public spaces from Shepparton to Elmore.

No stranger to collaborative ventures with school students, Rachel’s latest project has brought together students from Scared Heart and Tatura primary schools to design and paint a Lake Bartlett inspired mural on the new toilet block in Charlie Taylor Park, Tatura.

Focusing on the theme of ‘Earth, Sun

and Water,’ Rachel assisted students through a series of workshops to contribute to the mural design, which was then marked out on the toilet block.

Inviting students to paint the mural in small groups, Rachel said, “I’m so glad to be working on this project together with the students and I am thrilled that I have been able to use the students’ shapes, colours, patterns and drawings in the final design- they all produced some really great concepts!”

Commenting on how much they all enjoyed painting the mural and musing about what people would think of it into the future, enthusiastic painter and Tatura Primary School student Sam said, “I can tell my children and grandchildren that I helped paint this masterpiece!”

Sinkhole adds to traffic woes...

Traffic Update – Marungi Street – Nixon Street

IF you are travelling north along Marungi Street after exiting the Fryers Street extension please note you will NOT be able to turn right at the roundabout with Nixon Street due to a large sinkhole opening up in the road.

Traffic will need to continue north to Knight Street to make a right turn. Restoration works have started and will be completed tomorrow morning.

Please obey the detours in place around roadworks for your own safety and that of your passengers.

IMPORTANT! Heavy vehicles and trucks cannot use Marungi Street. Please continue to use High Street.

More information can be found at https://greatershepparton. com.au/council/major-projects/ welsford-street-redevelopment

NEWS Page 8 – The Adviser Australia No.1:1638 Wednesday, November 23, 2022
As Traffic heading from Mooroopna to Shepparton was able to access Marungi Street from Monday, November 21, a sizeable sinkhole opened up on the Marungi/ Nixon Street roundabout on Tuesday morning. With traffic being carefully directed away from the sinkhole, traffic was prevented from turning right onto Nixon Street in yet another instance of traffic re-direction due to damaged or quarden off roads. Photo: Natasha Fujimoto Photo: Rachel Doller
We cook your Christmas roast FREE* ORDERSTAKINGNOW 22 Colliver Rd, Shepparton (03)58215414 Full Turkeys $13.99kg | Fresh & Rolled Pork $32.99kg All Christmas products made and cooked on premise. All products available in gluten free options. Orders must be placed before Tuesday, 13th December. Rolled Pork Roast Available plain or your choice of stuffing. Fresh $21.99kg Cooked $32.99kg Boneless leg ham with rind. Available in different sizes. $24.99kg Prager Ham All local Australian Pork guaranteed. $18.99kg Ham on the Bone Chicken wrapped in Duck, wrapped in Turkey. $120 Turducken Fresh only Boneless leg ham. No rind, minimal fat. Available with apple, sage & onion. Apricot and macadamia stuffing, fig and pistachio stuffing or plain. Pre cooked or fresh. $27.99kg $29.99kg Virginian Ham Turkey Breast Fillets MAKE CHRISTMAS roast FREE* Reasy *Excludes Turducken Works continue on the Shepparton Line Check before you travel at bigbuild.vic.gov.au Authorised by the Victorian Government, 1 Treasury Place, Melbourne 2116 Coaches replace trains between Southern Cross and Shepparton from 3 to 4 December
The Adviser. Australia No.1:1638 Wednesday, November 23, 2022 –electorate For the past six months I have travelled across the Shepparton electorate speaking to you the residents and you have told me what is important to you, and what your expectations are for our future. These are some of my priority projects and major commitments to our electorate -Cheryl ADVERTISEMENT Authorised by C. McQuestin, Level 12, 257 Collins St, Melbourne VIC 3000 Delivering for REAL SOLUTIONS for all Victorians. #HammerTime 0458 827 265 CherylHammerShepparton Cheryl.Hammer@vic.liberal.org.au CherylHammer.com.au Rebuild Numurkah’s Pioneers Memorial Lodge $4.1 million to rebuild Murchison Toolamba Football Netball Club $100 million Cancer Centre and Health School at GV Health 30-bed drug & alcohol rehab and detox facility A second public high school for Greater Shepparton $10 billion over 10 years to fix our roads $1 million support for new Foodshare facility A pedestrian underpass at Kialla West Primary School Shepparton ADVERTISEMENT Authorised by C. McQuestin, Level 12, 257 Collins St, Melbourne VIC 3000 Delivering for REAL SOLUTIONS for all Victorians. #HammerTime 0458 827 265 CherylHammerShepparton Cheryl.Hammer@vic.liberal.org.au CherylHammer.com.au Rebuild Numurkah’s Pioneers Memorial Lodge $4.1 million to rebuild Murchison Toolamba Football Netball Club $100 million Cancer Centre and Health School at GV Health 30-bed drug & alcohol rehab and detox facility A second public $10 billion over 10 years to fix our roads $1 million support for new Foodshare facility A pedestrian underpass at Kialla West Primary School Shepparton $20 million to redevelop Shepparton Sports Stadium $4.1 million to rebuild Murchison Toolamba Football Netball Club $1 million support for new Foodshare facility $10 billion over 10 years to fix our roads $100 million Cancer Centre and Health School at GV Health A second public high school for Greater Shepparton $260 million for Stage 1 of Shepparton Bypass A pedestrian underpass at Kialla West Primary School ADVERTISEMENT A second public high school for Greater Shepparton $10 billion over 10 years to $1 million support for new Foodshare facility A pedestrian underpass at Kialla West PrimarySchool Shepparton

Beautifully designed hub future proofs palliative care in Greater Shepparton

STANDING in one of the hushed specialist suits, GV Hospice Care committee president, Jeanette Powell was effusive about the extraordinary support the new hub had received.

“This important and beautiful facility was born from the generosity and support of Hospice and the community.

“Our official launch today is recognition of all that work with this wonderful building bringing together all our staff, clinicians and volunteers under the one

roof for the first time,” Jeanette said.

Focused on personalised patient care and comfort, the new hub also provides greater opportunity for patients to consult with their specialists in a supported, nonthreatening environment.

“We provide telehealth sessions where

Word on the street is not happy

WITH Council expecting the stage 4 Welsford Street re-development to take three to four months in completion, the congestion on the causeway has been exacerbated by the closure of McCoys, Toolamba and Watts Road bridges, due to flooding.

With so many people in the community asking, ‘Is this the right time for the civil works?’ The Adviser has compiled a cross-section of comments from the community.

Taking to social media, Independent Member for Shepparton, Suzanna Sheed said, “...Now is not the time to do it, with three bridge crossings closed...and with ...Christmas coming on [there is] a need for shop keepers and businesses to get back on their feet...I’m calling on the Council to reconsider this work...”

Appreciating the urgency of Council to have the civil works completed in a timely manner, but nevertheless concerned about the 30–40-minute delays on his company's deliveries, KB Transport’s general manager, Adam Katsoutas said, “These [works and closures] impact delivery schedules, efficiencies, and output per day, which can make it increasingly difficult for clients to obtain the import goods and deliver the export products in a timely manner.

“I believe the unforeseen circumstances of the floods, has created an oversight of the amount of main arterial routes

that are currently being impeded...

“Now is the time to defer these works, and re address once additional routes are re-opened,” said Mr Katsoutas.

Calling upon Council to find an alternative time to proceed with the road works, Mooroopna resident Suzie Johnson said, “Council should be doing the road works in the evening, flood lit if necessary. I was 30 minutes late to pick-up my daughter from school and I was 30 minutes late to work.

“The road closures inconveniences businesses and their employees. I am gobsmacked that Council would do this coming into the Christmas period when traffic significantly increases. It is infuriating and thoughtless.”

Compounding to the critical CBD traffic situation was the emergency roadworks two weeks ago that had to be carried out on the corner of Wyndham and Nixon streets, Shepparton.

On Friday, November 18, Council announced that from 7.00am Monday, November 21 all cars and buses travelling from Mooroopna to Shepparton would be able to use the

a patient can sit with one of our nurses and talk to their oncologist in Melbourne. Patients can talk about treatment, and about their future. It takes away the uncertainty of not knowing what’s going to happen and what the treatment will be,” Jeanette said.

The sizeable sinkhole in the heart of the CBD at the intersection of Wyndham and Nixon Street will be addressed by Regional Roads Victoria for repair.

NEWS
Page 10 – The Adviser Australia No.1:1638 Wednesday, November 23, 2022
continued from front page continued from front page
Fryers Street extension to turn left into Marungi Street, as a temporary detour, while all traffic heading from Shepparton to Mooroopna would have to continue to do so from High Street.
T&Cs and eligibility criteria apply. Ends 28/11/22. YA57295AA
deals Get great deals on selected phones, home internet, accessories and more
EVERYONE IS TALKING ABOUT THE DELAYS... Consensus on the street is not happy about the disruptions caused by the stage 4 Welsford Street re-development in conjunction with bridge closures, heading into the busiest time of year. Photo: Natasha Fujimoto
Black Friday
The Adviser. Australia No.1:1638 Wednesday, November 23, 2022 – Page 11 Shepparton 136 High St Ph 5831 2592 Mon-Fri 10am - 5pm Sat 9am - 12pm BendigoHigh St Next to McDonalds Ph 0457 396 320 Mon-Fri 10am - 5pm Sat 9am - 12pm Discount will be taken off at register You will pay 40% OFF the lowest marked price EVERYTHING IN-STORE SHEPPARTON & BENDIGO BE LASTQUICK! DAYS

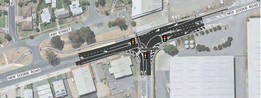
Intersection upgrades

INTERSECTION upgrades on New Dookie Road and Wheeler Street commenced on Thursday, November 3, with anticipated completion during midFebruary 2023.

Works are being carried out by Jarvis Delahey Contractors and include safety upgrades, resulting in the intersection becoming a signalised intersection with dedicated turning lanes and pedestrian crossings. This is a joint project between Council and the Federal Government.

Two-way traffic and access to Wheeler Street will be maintained during the works, with traffic control and reduced speed limits in place. Construction will primarily take place on New Dookie Road, between Ash Street and Apollo Drive, and to the south of the intersection on Wheeler Street.

Council encourages the use of alternate routes during this time where possible and asks everyone to be mindful of their safety and the safety of others.

4,000 hours of volunteered assistance and relief

IN a monumental effort, 90 St John Ambulance volunteers have completed three and a half weeks of providing care and assistance for flood affected Victorians, clocking up an incredible 4,000 hours of support.

Working twelve-hour shifts in pairs, volunteers treated 647 patients in flood relief hubs for a range of clinical and nonclinical needs from attending to first aid incidents, including two cardiac related issues, to providing psychological support.

Having experienced the 1974 floods, St John Ambulance volunteer, Dr Peter Leffler knew only too well the emotional toll of losing one’s property.

Through nine, twelve-hour shifts at Shepparton’s McIntosh Relief Centre, the 75-year-old doctor offered support wherever he could.

“There was a lot of sadness and depression, and people including

volunteers, were very tired.

“As a doctor of 50 years I went up to people sitting alone and offered a chat; it's so important to let it out,” Dr Leffler said.

Despite funding its own emergency responses to calamities such as bushfires, pandemics and floods, CEO of St John’s Ambulance, Gordon Botwright said the service has had to reach out to the state government in recent times, to ensure its future emergency preparedness.

“St John Ambulance is committed to serving the community in an emergency... but it costs us millions of dollars to train, support and equip volunteers so they are capable and ready to respond in a crisis.

“With commercial uncertainty, that sits with the economy, we have called on the Andrews Government and opposition for support, but as of yet, we have not received any commitments of funding,” Mr Botwright said.

NEWS Page 12 – The Adviser Australia No.1:1638 Wednesday, November 23, 2022
CONSTRUCTION... Intersection upgrades on New Dookie Road and Wheeler Street are expected to be completed in mid-February 2023. Photo: Supplied DONATING THEIR SKILLS AND EMPATHY TO THE FLOOD IMPACTED... St John Ambulance volunteers responded rapidly to the call for assistance and provided medical and psychological support in flood relief centres across Victoria. From left, Robert Wilson, Yvonne Berrie, Rebecca Underwood, Michael Jaskolski, Eliza Allen and Logan Robertson.
Join NOFASD Australia on the 9th of December 2022 to learn early intervention strategies for educators, service providers and parents/caregivers. This training is designed to provide knowledge and strategies to enable workers to increase their knowledge of FASD, to better understand the complexity and apply strategies to help work in different ways with children, adolescents, and adults. For more information, please call 1800 860 613 or email robyn@nofasd.org.au FASD Training ADVERTISEMENT Liberal team delivering for Shepparton
Photo: Supplied Wendy Lovell mp Member for Northern Victoria Region Amanda Millar
Authorised by C. McQuestin, Level 12, 257 Collins St, Melbourne VIC 3000
Liberal for Northern Victoria Region Jill Merkel
REAL SOLUTIONS for all Victorians. Cheryl Hammer Liberal for Shepparton $260 million for Stage 1 of Shepparton Bypass A second publichigh school for Greater Shepparton $100 million Integrated Cancer Centre and ClinicalHealth School at GV Health $20 million to redevelop SheppartonSports Stadium
Liberal for Northern Victoria Region
The Adviser. Australia No.1:1638 Wednesday, November 23, 2022 – Page 13 MON-FRI 7AM-6PM SAT 8AM-4PM SUN 9AM-4PM ALL PRICES INCLUDE GST SHEPPARTON STORE OPEN 7 DAYS 20-28 FLORENCE ST, SHEPPARTON 5833 3999 HUNTERS TRADE RURAL HARDWARE HUNTERS TRADE RURAL HARDWARE HUNTERS NOW $339NOW $329 STORE LOCATIONS SHEPPARTON ECHUCA EUROA KATANDRA WEST TATURA WANGARATTA YARRAWONGA COROWA MY HOUSE DOG KENNEL- FLAT ROOF MY HOUSE DOG KENNEL- VERANDA SIZES S, M, L & XL SIZES S, M, L & XL WHILE STOCKS LAST (Q1000) LP BBQ $339 NOW Shop local this Christmas HUNTERS TRADE RURAL HARDWARE HUNTERS TRADE RURAL HARDWARE TRADE RURAL HARDWARE NOW $249 NOW $8 FROM $7.95 FROM $225 FROM $340 FROM $6 NOW $33 NOW $8 20KG NOW $34.50 NOW $12 .50 WAS $38.50 WAS $15.15 WAS $8.95 WAS $38.33 MOWER LAWN 16 INCH 127CC YARD FORCE TRIMMER STRING FATMAX V20 18V 4.0AH BRUSHLESS KIT 2KG RANGE OF BIRD SEEDS BUDGIE, CANARY, FINCH, PARROT & SMALL PARROT MIXES LICKI MATS GREEN, ORANGE & PURPLE KAZOO CAT TOY RANGE TOYS MAY VARY IN-STORE BLACK HAWK PREMIUM DOG FOOD 3KG,8KG, 10KG & 20KG CHICKEN & RICE, LAMB & RICE, FISH & POTATO 20KG FROM $132 FLAVOURS MAY VARY IN-STORE MAX’S CAT FOOD 8KG CHICKEN & OCEAN FISH NOW $7 DOGGYLICIOUS DOGGY BUTTERS - ORIGINAL 250G OLSON’S HORSE BLOCKS 2KG MINROSA STOCK BLOCKS 3KG FROM FROM $6 NOTHIN’ TO HIDE DOG TREATS SIZE PACKS & FLAVOURS MAY VARY BLOWER 18V LI-ION SKIN DUB186Z MAKITA NOW $145 BLOWER 18V LI-ION KIT DUB186SF INCLUDES 2 X BATTERIES & CHARGER NOW $229 LONG LASTING & HIGHLY DIGESTABLE CHEWS

Shepparton District Candidate Q&A

IN the lead up to Saturday’s state election, The Adviser invited the nine district candidates for Shepparton to respond to three key questions. Three candidates replied to the invitation.

Q1: What do you consider to be the number one priority for Greater Shepparton that you (And your party) will act on, if elected in November?

Q2: What do you consider, given the recent flood events, are the most pressing issues regarding the health, wealth and stability of the region moving forward?

Q3: During your time on the ground touring in readiness for the election, what are the major and resounding concerns of the people you hope to represent?

SUZANNA SHEED INDEPENDENT

Q1: Recovery from the floods is my first task, should I be re-elected. I met with State Government ministers in Shepparton last week to discuss the Housing Taskforce, which will help flood-affected families access short and medium-term accommodation. I will ensure this taskforce is serving our community and I will also make sure that our district gets its fair share of flood recovery funds to fix our flooddamaged roads.

Flood recovery is my priority. We need the bypass to keep trucks out of Shepparton and Mooroopna CBD and to make sure no community is cut off in times of flooding or other emergency. We must also address the housing shortage and make sure our residents have access to affordable homes, whether it is subsidised, a secure rental, or affordable purchase. We need the opening up of land for development and secure housing solutions.

The main issues of concern the community raised with me are access to better health services, including mental health services for young people, the unsafe state of our roads, and the need for more comprehensive bus transport to every town in our electorate. Irrigators and people concerned about the viability of our food production are worried about future water buybacks by the Federal Government, to make up the shortfall of water for the environment outlined in the Murray Darling Basin Plan.

CHERYL HAMMER LIBERAL PARTY

Q1: The provision of health services in the region is the priority, including tackling the workforce shortages we face in the health and medical fields. We are working

with GV Health towards the completion of the hospital and have committed to delivering the cancer services and facilities that are critical for treatment of sufferers close to home, as well as the Clinical Health school that will train locally up to 300 nurses, midwives and other allied health professionals a year. We are in desperate need of more GP’s and will work attracting them to our region.

Q2: Hundreds of people have been displaced by floods exacerbating a dire housing environment where housing stock, especially rentals, are already limited and expensive. Having spent time with people who are still recovering from inundation, it is imperative we prioritise mental and physical health. Many farmers and other small business owners have been severely impacted both at home as well as loss to their livelihoods, so supporting these flood victims to rebuild is paramount.

Q3: Education and the lack of choice in public secondary schooling in Greater Shepparton. Our unsafe and deteriorating roads which has caused major and costly damage and delivery of the GV Bypass. The lack of access to a doctor and other medical services due to worker shortages. Housing, both in the affordable rental market and the cost of purchasing a home.

DIANE TEASDALE

FREEDOM PARTY OF VICTORIA

Q1: We must protect the people from further mandates and lockdowns. Training our young people for employment is important for the future security of the Shepparton Region.

Q2: The people employed to protect us are not doing their job. Flooding was the result of poor management of the water held at Eildon and the lack of maintenance on the levees. Health care is a great worry, especially for the elderly and this must be addressed. We need more housing to encourage our young to stay on and work in Shepparton.

Q3: People are worried about their financial security and the candidates do not seem to have any answers. We need a higher quality of responsible and smart people running the country and this requires political will to find the right people to achieve this.

NEWS Page 14 – The Adviser Australia No.1:1638 Wednesday, November 23, 2022
INDEPENDENT CANDIDATE, SUZANNA SHEED
Make it about your home, not your home loan. Your gmcu lender supports you every step of the way, so you can focus on what’s really important. Speak to your local team or visit gmcu.com.au today. Credit eligibility criteria, terms and conditions, fees and charges apply. Goulburn Murray Credit Union Co-operative Limited ABN 87 087 651 509 AFSL/Australian credit licence 241 364. Suppliers to auto industry for over 30 years  Paint and panel beating equipment  Custom mixed paint  From aerosol to 20lt  12 Campbell Street, Shepparton Ph: 5821 0111 • darbyspaints.com.au Mon – Fri: 8.30am – 5.00pm | Sat 9am – 12 noon Custom mixed paint THINK PAINT... THINK DARBY’S Suppliers to auto industry for over 30 years  Paint and panel beating equipment  Custom mixed paint  From aerosol to 20lt 
LIBERAL PARTY CANDIDATE, CHERYL HAMMER FREEDOM PARTY OF VICTORIA CANDIDATE, DIANE TEASDALE.
The Adviser. Australia No.1:1638 Wednesday, November 23, 2022 – Page 15 made in Shepparton Shepparton’s Celebrating 25 years of success 2022 Business Excellence Awards TICKETS ON SALE For businesses, organisations & individuals. Join us at the special Gala Presentation Dinner Friday 9th December, 2022 Book at Riverlinks on 03 5832 9511 Don’t miss this Red Carpet night of entertainment, live music, 3 course dinner. Chamber Members $110 Non-Chamber Members $120 Riverlinks booking fee applies. in 2022 Sponsored by in Shepparton in 2022 Sponsored by in Shepparton NEW DATE AND VENUE The Chamber takes this opportunity to thank all Business Awards participants and sponsors for their patience due to the postponement and relocation of the Awards Gala Presentation Dinner. We are fortunate to have been able to secure a new date, Friday 9th December, 2022 and a new location The GV Hotel Cabaret Room, 223 High Street, Shepparton. If you have already purchased tickets, there is no need to do anything as your details will be transferred to the rescheduled event and new tickets were sent to your inbox via Riverlinks on 14th November. For any enquiries please call Riverlinks on (03) 58329511.

Closing down at Camerahouse

HAVING provided for Shepparton’s photographic need for almost 40 years, Shepparton Camerahouse has made the difficult decision to close its business.

Owner and accountant-by-trade, Ian Bugg bought the Shepparton business in 1984, after selling his first camera shop in Ringwood, Melbourne.

“The photographic industry has changed dramatically. We no longer have film processing; we have digital imaging. Back in the heyday, we would process something like 2,500 to 3,000 rolls of film a month,” reflected Ian.

With the advent of digital images replacing film photos, increased preference for online shopping, and the advancements in mobile phone cameras, Camerahouses around the country have been closing their doors.

In the late 70s, Ian said, “We would have had around 24-25 Victorian members of

PHOTOGRAPHIC EXPERTS... Iconic local business Shepparton Camerahouse has decided to close and have huge savings on all their stock. Pictured are the Shepparton Camerahouse team, administration clerk/sales consultant Ryan Earle, lab operator/frame consultant Chrissy Pedretti, and sales consultant/ tape conversion specialist/lab operator Graham Harland. Photo: Deanne Jeffers

Camerahouse. And now, when I close, there will be Echuca, Bendigo, Horsham and Ringwood – four live members from what used to be 24.”

The loss of this iconic business on the corner of Fryers and Maude Streets will come as a disappointment to many, particularly the loss of special photographic services that the dedicated team provide.

If you have film to be processed, special photos to be printed, or a great deal on

camera equipment, binoculars, telescopes, drones and more, be sure to head into Shepparton Camerahouse before it is too late.

Shepparton Camerahouse are located at 179 Maude Street, and online at camerahouse.com.au, or phone 5821 3855.

Australia Day Award nominations now open

2023 Australia Day Awards nominations are now open. Greater Shepparton City Council is encouraging residents to nominate deserving community members.

Nominations are open for Citizen of the Year, Young Citizen of the Year (aged under 30) and Senior Citizen of the Year (aged 65 and over), Sports Award and Community Event of the Year, which includes any virtual events that may have been held, for Arcadia, Dookie, Mooroopna, Murchison, Shepparton, Tatura and Toolamba.

Greater Shepparton has dealt with its fair share of hardship over the past month with the recent flood event, and earlier this year as residents continued to navigate their way through the COVID-19 pandemic, with many community members needing

a helping hand.

The heroes that dedicated their time to help out during these tough times are an example of the type of people who deserve to be recognised in the 2023 Australia Day Awards.

Mayor, Cr Shane Sali, said the acts of generosity and kindness during the recent flood event proved how many local heroes were in the community.

“This year has been tough, there is no denying that. However, when you go through adversity there are always people who stand up, make things happen and lend a helping hand. These people deserve to be acknowledged, and it is important that we recognise and celebrate the people who have truly shone through these tough times,” Cr Sali said.

“Australia Day Awards are a tribute to the quiet achievers, the people who are willing to drop what they are doing to help someone else. I urge anyone who has ever thought someone’s contribution deserves some recognition, to nominate them for an award.”

Nominations for the Murchison Australia Day Awards close on Monday November 28, while all other towns close on Thursday December 8 2022.

Nomination forms, the full list of categories and other relevant information can be obtained by contacting Council on 5832 9700 or via Council’s website at greatershepparton.com. au/community/neighbourhoods/awards/australia-day.

Sheed hopeful following water minister meeting

INDEPENDENT Member for Shepparton District Suzanna Sheed and her Goulburn Murray Irrigation District (GMID) Leadership Group co-chair David McKenzie met with Federal Water Minister Tanya Plibersek this morning to discuss the future of Federal water buybacks.

Ms Sheed and Mr McKenzie told the minister that GMID communities felt they have made major sacrifices to a globally important reform and further buybacks would hurt the district’s already damaged water-reliant food production industries.

Ms Sheed said the minister did not rule out further buybacks or shifting the deadline for water to be delivered to the environment. “What we were buoyed by is that we were able to express that the data from the recent flooding events and the rainfall enjoyed by the environment should be considered,” Ms Sheed said.

“I was also pleased that she seemed to understand the socio-economic impact of buybacks and communities and said when accepting buybacks she would look favourably on projects that had the smallest impact on communities. “She spoke about projects that would use water more efficiently and use the money from the buybacks for job creation.

“I was also interested in Ms Plibersek’s reasoning for leaving a blank figure for “delivering on water commitments” in the recent Federal Budget. “Ms Plibersek

explained that she did not want to distort the water market by including such a figure, but I am still concerned about what that final figure that may be.

“We raised the results of the latest Frontier Economics report that 450 Gl of water buybacks would lead to $513million in lost production per year and 900 jobs lost in our region.

“We also posed the question on whether this water could even be delivered to environment, ahead of the Victorian constraints study due next month.”

Mr McKenzie expressed to the minister the deep disappointment that our irrigation communities feel when the government uses rhetoric suggesting that so little water has been recovered.

Ms Plibersek acknowledged Mr McKenzie’s point that our region had given up the most water, engaged in some of the most innovative projects, and had been proud of what it delivered.

“As the independent member for Shepparton District, I am so pleased to have been able to open a direct line of communication with our federal water minister and feel confident that we will be able to have further fruitful discussions in the future,” Ms Sheed said.

“This is an example of what can be achieved when a community is represented by an independent – they can work with the government of the day”.

Small towns full of colour

TAMMY-LEE Atkinson will soon work her magic around Greater Shepparton, painting seven Aboriginal art installations in small towns as part of funding provided through Council’s Community Plan Implementation Fund.

Community Planning Groups across the municipality were invited to apply for funding to have an Aboriginal Art installation completed within their community, with seven small towns successful in their applications.

Tatura, Tallygaroopna, Merrigum and Toolamba were successful in receiving a small wall mural in their town, while Mooroopna, Murchison and Dookie will have an existing park bench revitalised with art.

Mayor, Councillor Shane Sali said that both the community and Council were excited to partner with TammyLee Atkinson to design artworks that incorporated the community’s connection to land, water and nature.

“Council’s Aboriginal Street Art Project has seen some amazing murals painted around our region which acknowledge and celebrate local Aboriginal history and culture,” he said.

“We look forward to seeing these new pieces of art commissioned around our small towns to brighten up the areas, recognise our connections and create points of attraction around the region.

“Council is looking forward to working with the successful community groups and the artist Tammy-Lee Atkinson to deliver this great project.”

The project follows on from Council’s Community Planning Group event, ‘It’s Your Plan’, which was held earlier this year. Each of the Community Planning Groups in the region were invited to a networking and cultural educational event on country at The Connection in Shepparton.

The installation of the artwork around the region is expected to be completed by the end of the year. For more information phone Council on (03) 5832 9700.

NEWS Page 16 – The Adviser Australia No.1:1638 Wednesday, November 23, 2022
VIBRANT ART COMING TO TOWN... Tammy-Lee Atkinson will soon work her magic around Greater Shepparton, painting seven Aboriginal art installations in small towns as part of funding provided through Council’s Community Plan Implementation Fund. Photo: Stephanie Holliday

Shepparton business celebrates 70 years of success

OVER the past seventy years, Shepparton has made major changes as the food bowl of Australia. In that time, numerous small businesses have grown and prospered providing a level of service that meets the needs of the local community.

One of those businesses is Central Tyre Service who are involved in one such industry that has established themselves in 1952 as a key community business that helps keep every other business on the road and the wheels of the regional industry turning.

With support from Goodyear Tyres Australia in the early days, the company has seen the transfer of ownership stay within the business. Current directors, Rod Poliness and Tim Webb have both spent the larger part of their working life, Rod at 33 years, Tim at 23 years, with Central Tyre Service to reach the point where they became the current owners. The 18 staff members doing all the work in the shop and on the road have an average of 15 years tenure with the business.

With the workshop constantly working

on jobs at hand, the company has recently invested in two new fully equipped mobile service vehicles adding to their existing fleet that can provide efficient onsite service and backup to the region’s transport and agricultural industries, from cars to trucks and tractors by taking the tyre changing service to the field when needed.

The Adviser salutes this great local business that has stood the test of time by providing excellent customer service.

HOMEOWNERS at Lifestyle over 50s community on Channel Road, Shepparton, delighted residents and their families when they put on a special variety concert recently.

Produced, performed and enjoyed by its residents, this was the third concert the Lifestyle Community has put on. Normally concerts run every 18 months, however, Covid restrictions prevented any shows going ahead since its last 2018 performance.

Di Burgmann and Garry Semmens were the concert’s executive producers. Supported by a great concert crew, they spent several hours arranging and coordinating with the entire production. The community kept

themselves busy during lockdowns with their act preparations.

The night would not have been the success it was without the dedication and commitment of all the residents, including management, who participated in an act, costume creation, composing songs, rehearsing, sourcing props or performing.

The outstandingly talented residents included singers, musicians, poets and numerous comedy skills, who shared their talents with an audience of over 240 strong.

The concert has been the talk of the Lifestyle Community, and homeowners are already looking forward to the next night of nights in April 2024.

NEWS The Adviser. Australia No.1:1638 Wednesday, November 23, 2022 – Page 17
WHEELS KEEP TURNING... Central Tyre Service established themselves in 1952 as a key community business helps keep every other organisation on the road and the wheels of the regional industry turning. Pictured are owners and business partners Rod Poliness and Timothy
Spectacular show returns
NAI Harcourts Rinnovate Business Brokers • Enviably located • Huge potential to expand • Widely considered “the best in town” • Casual dining in relaxed and inviting atmosphere • Art deco converted warehouse RESTAURANT, CAFÉ AND FUNCTION & PRIVATE EVENT SPACE Teller Collective, Fryers Street Foodstore & The Vault • Well established –Over 12 years of operation • Can be run from anywhere in the Goulburn Valley • Local supplier of Davey, Onga & Orange Pump ranges • Opportunity for growth • JS Brooke & Co forms part of the busines. • There is opportunity to grow the business through the expansion of retail sales IR FARM MAINTENANCE & PUMPS - KYABRAM Pumps & Farm Repairs Specialist 5822 1555 177-193 Numurkah Rd, Shepparton VIC www.fairleysiga.com.au Frankie 4, Lou Lou Australia, Bare Leather & Oogee. M: 0491 882 032 222-224 Allan St, Kyabram www.ajeshub.com.au Opening Hours: Mon - Fri Mon - Fri 9am - 5pm Sat Sat 9am - 12pm SALE Shoes, boots & clothing BLACK FRIDAY UP TO 50% OFF STOREWIDE
SUCCESSFUL SHOW... Concert crew and management from Shepparton Lifestyle Communities, Garry Chilcott, Mel Lewis, Doug Sutton, Garry Semmens. Gaby Beck, Al Cartlidge. Photo: Supplied

LETTERS

SEXTORTION

VICTORIAN police are becoming increasingly concerned by reports of ‘sextortion’.

‘Sextortion’ is an imagebased crime where a perpetrator threatens to share an intimate photo or video of an individual online without consent or will embroil a victim in blackmail by sending a sexually explicit photograph to them. The images can be real photos or videos, or ones that have been photoshopped. Predominantly targeting young people, victims are blackmailed into sending money to given accounts.

If you or someone you know has fallen victim to ‘sextortion’ you can make a report to the eSafety commissioner at https:// www.esafety.make a gov.au

NUMBER PLATE THEFT

WITH number plate theft becoming more common in Greater Shepparton, police have offered the following advice as a preventative.

Ensure your number plates are secured with one-way, anti-theft screws (available from hardware stores).

Report theft of number plates to your local police.

Visit VicRoads to obtain a new set of number plates.

Letters to the Editor

of style or content. Letters will not be eligible for consideration if they contain defamatory material, or information of a personal nature which is not in the public domain.

TERRIBLE TIMING

I would like to put my view across on the lack of thought put into doing the upgrade of Welsford Street Shepparton at this time of the year. We are close to Christmas and it is hard enough to get people into the CBD as it is, without this ridiculous closure. Also at the moment with the floods there is only one way into Shepparton from Mooroopna. The pick up for school kids is also a nightmare with the secondary schools being up the north end. Buses and parents trying to get home is very time consuming and frustrating. I cannot see why this could not have started 1st week of January when the road usage is lessened. I know contractors have been booked but whoever is in charge has no idea the havoc this is causing. Those responsible need to have a good look at it and maybe try to put it off for a month. It really is not good enough.

OPPOSED TO ENERGY COMMENT

Congratulations to Rob Bryant on his letter in the November 16 edition. While many, I’m sure, agree wholeheartedly, I hope that those undecided voters will take note of his thoughts and consider seriously voting against the current government.

We cannot afford another four years of Daniel Andrews and the damage he will inflict on Victoria Terri

MOOROOPNA WOES

We have lived in Mooroopna for 40 years and the constant problem with flash flooding has been here all this time. Every time when there is a heavy

Flood Community Recovery Hub Update

THE Community Recovery Hub (The Hub) at the Shepparton Senior Citizens Centre, which has been providing information and support to those impacted by recent flooding is transitioning to mobile recovery. In the coming weeks Council Officers will be working with local communities to provide outreach flood recovery information.

Representatives from Greater Shepparton City Council and community recovery services have been operating from The Hub providing a wide range of assistance with health and wellbeing, food and material relief, insurance, housing and legal matters.

Greater Shepparton City Council Director Community Louise Mitchell said The Hub was adapting to the recovery needs of the community by going mobile.

“The Recovery Hub provided a link for community members to access a wide range of recovery support services,” Ms Mitchell said.

“The past couple of weeks has seen an incredible effort from organisations, agencies and volunteers in supporting community. As we move through the phases of recovery, it is important that we adapt to the needs of local people so now we are going directly to communities.”

The Community Recovery Hub will continue operating from the Senior Citizens Centre until Wednesday 23

November when services will then transition to the outreach model.

In the lead up to going mobile, The Hub will be changing its operating time to the following:

• Tuesday 22 November, 11.00am – 1.00pm

In addition to the mobile recovery Council’s website is providing a virtual Recovery Hub offering support information. A schedule of outreach events is currently being developed in partnership with impacted communities and will be available shortly via Council’s website.

The first Outreach Recovery session will be held in Bunbartha this Friday 25 November at 5.30pm at the Bunbartha Community Centre, while a community BBQ is underway.

Council Officers and several agencies will be in attendance to discuss recovery needs and provide support in navigating services and payments.

The Flood Recovery Hotline is available by phoning 1800 560 760. The Hotline is providing support with clean-up services, assistance with finding a place to stay, financial support, mental health and wellbeing support.

For further information visit the Flood Recovery page on the Greater Shepparton website.

www.greatershepparton.com.au/ flood-recover

rain event, the street starts to flood. Going back to when Mooroopna was part of the Shire of Rodney, they were going to investigate the situation, but nothing was done and still the City of Greater Shepparton have not been able to come up with a solution.

The problem is that we do not have a local councillor representing us on the Greater Shepparton City Council, which is caused by not having wards across the municipality of GSCC. This is a State Government issue but Suzanna Sheed our local member has not taken this up with the Minister for Local Government.

Toolamba Road outside St Mary’s oval is a disgrace, GSCC says it is a state government road and again, as the school children get on and get off the school bus through the flooded gutter and broken curbing, nothing has been done.

I read in Suzanna Sheed’s political manifesto about a future for the Mooroopna Secondary School site. There is a good use for it, a secondary school for the students of Mooroopna. Within the Mooroopna area there is six primary schools and more surrounding them. For a town of over 8,000 people what we need is a Secondary College.

Ms Sheed, I ask you, if you want to do your job properly, and look after the people you represent?

Chris Clark Mooroopna.

THE CULT OF DANIEL ANDREWS

ON Wednesday, November 16, Peta Credlin hosted a documentary titled ‘The Cult of Daniel Andrews,’ where she interviewed many people with inside information about how Daniel Andrews rules his government with an iron

$208M for Shepparton Bypass honoured

WITH the recent floods resulting in the causeway between Shepparton and Mooroopna being cut, up to 30,000 drivers each day were prevented from crossing the Goulburn River, isolating thousands while causing havoc to communities and businesses alike.

With renewed vigor, politicians and community members have once again turned their attention to the crucial Shepparton Bypass which would provide the two townships with a second river crossing and remove freight and through traffic from CBDs.

With the previous Federal coalition Government committing $208M to the bypass development, leader of The Nationals, David Littleproud announced on Thursday, November 17 that his party had forced the federal Labor government to honour the funding.

“With the federal funding guaranteed and a funding commitment from the Victorian Nationals and Liberals we can get to work under a state coalition government,” Mr Littleproud said.

Federal member for Nicholls Sam Birrell said The Nationals were committed to stage one of the project and was proud

fist and deals very severely with dissent. He is firmly in control and dislikes transparency and accountability.

A former female minister explained how the premier controls the Labor Party and indeed the whole state including children’s playgrounds. He appoints his own staff members to head up departments with yes men who may not be the best qualified for the job. Former chief police commissioner Mr Kel Glare was interviewed and claimed that the present government was the worst government he had seen in his 82 years.

Police have arrested and handcuffed a pregnant mother in her home in front of her children for a post on the internet, police have fired rubber bullets at protesters resulting in hospitalisation. The police involvement with lawyer X, the failure to properly pursue corruption allegations with red shirts, hotel quarantine and the Slug Gate conflict of interests and planting the slug is a disgrace.

For a business to be closed down and ruined and 40 people put out of work on allegedly manufactured evidence by the chief health officer and Dandenong Council CEO with a conflict of interest is also a disgrace – they brought 90 charges forward and were all thrown out of court. There should be accountability.

Daniel Andrews relied on four independents to give himself harsh emergency powers which included 263 days of curfews with the worst outcomes of any state.

With debt levels exceeding NSW, QLD and Tasmania combined, how can we survive another four years?

N.T Sims Kialla

FUNDING FOR THE

to have pressured Labor into matching the previous coalition Government’s commitment.

“Locals have fought for this bypass for decades and we are fighting to get it delivered,” Mr Birrell said.

Echoing the vital need for the bypass, Valley Pack cold storage operations manager, Taylor Hall said the bypass would ease traffic and provide a much safer route around town.

“We have just one river crossing, and we are the main intersection between two main freight networks. This bypass is critical to the amenity of the town.”

OPINION Page 18 – The Adviser Australia No.1:1638 Wednesday, November 23, 2022
We welcome Letters to the Editor but they are not guaranteed to be included and may be edited for reasons
NOVEMBER
SHEPPARTON
ROUND UP
2022
SECURING FEDERAL SHEPPARTON BYPASS... (from left) federal member for Nicholls Sam Birrell, The Nationals leader David Littleproud and Valley Pack cold storage operations manager Taylor Hall discuss the significant benefits of the Shepparton Bypass on Thursday, November 17. Photo: Supplied
1800 809 579
standbysecurity.com.au
Trusted Family & Business Protection Brought to
you
by CCTV • Alarms • Intercoms • Guards • Patrols

To view our full Editorial Policy, please visit our website. Complaints Complaints will be accepted up to one (1) month from the date of the behaviour(s) or first publication.

To view our full complaints procedure policy, please visit our website.

Postal address: PO Box 1664 Shepparton VIC 3630 By person: 38-40 Welsford St, Shepparton VIC 3630

By email: editorial@ sheppartonadviser.com.au sheppadviser.com.au

Trainee Environmental Field Technician/ Hydrographer

licence

•Good computer skills

All applications, including those from school leavers, will be welcome. Applications covering relevant attributes and experience should be submitted via: www.alsglobal.com/en/careers#positions

Applicationsclose: Friday 2nd December 2022

The Adviser. Australia No.1:1638 Wednesday, November 23, 2022 – Page 19 Have you got an event coming up? Reach 60,000 estimated readers + online in The Adviser’s new What’s On section Call Pauline for your inclusion in The Adviser’s new What’s On section Artwork Deadline: 5pm Monday All you have to do is phone 5832 8989 or email pauline.georgys@sheppartonadviser.com.au. What’s on NEW IN THE GOULBURN VALLEY COURTESY BUS AVAILALE MANGAN ST, TONGALA • P. 5859 0204 • M. 0427 594 399 Jarryd Groundy Dave O’Neil GARAGE SALE 28 Ross Alan Drive Shepparton Saturday 26th November 8.00am - 3.00pm (NO early birds please!) Kitchen ware, furniture, electrical goods, men’s and women’s clothing. Cash only. Most items $5 or less. KYABRAM TOWN HALL GALLERY Current Exhibitions for November Victorian Quilters One Step Further Kyabram Reform Movement 1901-03 199 Allan St, Kyabram | Open Mon- Sat 10am -4pm www.kyabramtownhall.com.au GOULBURN VALLEY COUNTRY FESTIVAL Saturday 1st April 2023 | Shepparton Showgrounds goulburnvalleycountrymusicfestival.com.au Kasey Chambers - Troy Cassar – Daley - Freestyle Motocross (FMX) Woodchopping - DJ brat paisley - Line dancing and so much more.
Postponed to the 21st & 22nd January 2023 Free Attractions, Family Fun & Games, Animal Nurs ery, Food Expo, Horses, Sheep, Cattle, Homecrafts, Poultry, Woodchop, Art Photography, Heritage, Animal Nursery. www.whittleseashow.org.au Items under $50 FREE CLASSIFIEDS COUPON Deadline Friday 12 noon Address 38-40 Welsford St, Shepparton Email classifieds@sheppartonadviser.com.au Conditions of acceptance - price must be included in advertisement and limit of 3 FREE advertisements (under $50) only per week Phone number BARGAIN BUYS WANTED TO BUY (FREE) One item per coupon. 14 word limit - 1 word per box. Name............................................................................................................................................................... Address........................................................................................................................................................... The Shepparton Adviser is an award winning weekly community newspaper established for over 38 years and we are looking for an experienced Finance Manager to work closely with our admin team and Managing Director. This is a part time position of a minimum 20 hours per week. Ideally, the successful negotiable. The main tasks are: requirements • Accounts Payable • General ledger reconciliations • Bank reconciliations • Preparation and lodgement of BAS • Preparation of FBT reports • Payroll Including WorkCover, State Revenue submissions • Provide support to the Managing Director. Prior experience in preparing Business Activity Statements and having a good understanding of the ATO reporting requirements are essential. Are you interested? We are conducting interviews now so please email a letter of application, your resumé and any relevant references asap to: admin@sheppartonadviser.com.au FINANCE MANAGER/ PERSONAL ASSISTANT Part Time 38-40 Welsford Street, Shepparton l City of Wangaratta tly have a number of cancies across a variety f departments! lookin g fo r Fu ll Time, Part Time fo r th e below ro les: Manager – Art, Culture & Event s e Rec overy Youth oordin ator omer Service Off icer Childcare Educato r L eve l 3 Childcare Centre Coordin ator ket ing & Communic at ions Off icer Early Childhood Teacher emen t Specialis t c e r – D evelopment applicant will be re quired to thei r Covid-19 Va ccin at io n commenceme nt atta is a child safe and equal er. Employment applications from AboriginalandTorresStraitIslanderpeoplesandpeople linguistically diverse backgrounds addition applications for positions en must provide referees who can perience working with children These roles also require a valid Working with Children Check and all roles require a National Criminal History Check. Career Opportunities Applic at ions fo r th es e posi tion s close 3p m Mond ay 28 Nove mber 2022 Fo r fu rthe r in fo rm at ion: www.wanga ratt a. vic. gov. au /a bout-c ouncil /c areers or phon e 03 57 22 0 888 Interested applicants are to forward resumes to: stomarchio@jeftomson.com or call 0456 836 580  between the hours of 9am and 4pm Monday to Friday. The ALS Hydrographics Team is seeking a Full Time Trainee Environmental Field Technician / Hydrographer to join the environmental monitoring team in Shepparton, Victoria. The successful candidate will receive on-the-job training as well as enrolment and support to complete a Diploma of Water Operations (Hydrography). The ideal candidate would have the following attributes •Environmental science or trade-based • working in a hands on, outdoor environment •Experience in the use of hand, power and pneumatic tools is highly desirable, electronics and mechanical aptitude
thinking and problem-solving skills, shows initiative
knowledge of general HSE principles and practices
Ability to swim and perform manual handling tasks
driver’s
WHITTLESEA SHOW
•Lateral
•Sound
•Manual
Policies
complaints procedures
Editorial policy and
Editorial Policy
EMPLOYMENT OOK YO UR CL ASSIFIEDS NO W online www.sheppadvise r. com.au cl as sifieds @s heppartonadvise r. com.au P hone 03 58 32 89 89 CLASSIFIED

to procurement a n d p urchasing , the a b ilit y to work autonomously and involvement in decision making th at w ill h ave l ong-term i mpacts on C ouncil operation s.

In a dd itio n to a c ompetitive s alar y, C ouncil o e rs accrued time o an d a fl exible work arra ngement policy in o rd e r to facilitate gre ater work- life balance. Council promotes a culture of continuous improvement and an environment that encourages grow th

wdeaworks.org.au/careers

C er ti fi cate

• VI T R egistratio n

P leas e i nclud e in you r c ove r l et te r if you a re applying fo r Ful l T im e or Par t T im e work.

I f you are i nterested , a d et aile d Pos itio n

Desc ription is avail abl e b el ow

Fo r fu rther enquiries: J ade Salmon , Famil y & Ea rly C hildhoo d C oo rd in ator 0 3 572 2 814 0.

The successful applicant will be re quired to prov id e a co py of thei r Covid-19 Va ccin at io n Certifi cate prio r to commenceme nt

Rural City of Wangaratta is a child safe and equal opportunity employer. Employment applications from AboriginalandTorresStraitIslanderpeoplesandpeople from culturally and linguistically diverse backgrounds are encouraged. In addition, applications for positions that work with children must provide referees who can comment on their experience working with children. These roles also require a valid Working

Page 20 – The Adviser Australia No.1:1638 Wednesday, November 23, 2022 Earn $$ and keep fit at the same time! Interested? Enquire today! Call 5832 8900 or email front@sheppartonadviser.com.au Join Delivery Team Available on Wednesdays? Earn money while exercising Make extra money in your spare time CLASSIFIEDS T 03 5832 8989 W www.sheppadviser.com.au E cl as sifieds @s heppartonadvise r. com.au Primary Teaching Positions - Primary Classroom - Primar y Physical Education & Generalist Secondary Teaching Positions - Ar ts Technology - English - Faith Education - Materials Technology - Mathematics - Science Seeking applications for the listed ongoing positions. St Mary ’s College provides a holistic education which brings together faith, community, friends and learning. The teaching positions begin 2023. Teachers with other methods, graduates and fourth year students are welcome to apply Various Teaching Positions St Mary ’s College is returning to Year 11 in 2024 & Year 12 in 2025. Please refer to https://www.smseymour.catholic.edu.au/welcome/employment-opportunities/ for the role description and application requirements. Applications close 5pm Friday, 9 December 2022. St Mary’s College promotes the safety, wellbeing and inclusion of all children. THE For your next advertising campaign phone 5832 8989. A member of The Victorian Country Press Association CLASSIFIEDS T 03 58 32 8989 W www.sheppadviser.com.au E cl as sifieds@sheppa rt o nadvise r. com.au fruitlogistics@jeftomson.com Exciting opportunity for a values-driven Team Leader to provide daily leadership, management, and coordination of services to a team of youth justice case managers, restorative justice convenors and case managers Permanent full-time position. If you want to know more about this incredible opportunity please visit https://www.salvationarmy. org.au/get-involved/employment-opportunities/ and search for job ref number R27066. Team Leader Restorative Justice and Homelessness Proc ur ement Specialist Fu ll Ti me $8 7, 841pa +super Th e R ura l C it y of Wanga ratt a are l ookin g fo r a Procurement S pecialist to prepa re d ocument and embed the strategy for Council’s procurement activities within the organisatio n. Yo u w ill b e re sponsibl e fo r s upporting e e ctive, complia nt an d e c ient p ro cu re ment p ract ices Yo u w ill p rovid e s pecialist a dvic e to C ouncil o c er s in a dd itio n to developin g a n d d elivering st a training in o rd e r to ensure c omplianc e w ith Council’s Pro curement Policy. This role o ers the successful a pplicant the o ppor tu nit y to grow an d d evelo p b usines s p ract ice s in rel atio n
n
quired
prov id e a co py
r
Check
Check
a
d p rofe ssiona l d evelopme nt For further enquiries: Chris Molyneaux, Manager Finance on 0428 4 47 9 66 The successful applicant will be re
to
of thei
Covid-19 Va ccin at io n Certifi cate prio r to commenceme nt Rural City of Wangaratta is a child safe and equal opportunity employer. Employment applications from AboriginalandTorresStraitIslanderpeoplesandpeople from culturally and linguistically diverse backgrounds are encouraged. In addition, applications for positions that work with children must provide referees who can comment on their experience working with children. These roles also require a valid Working with Children
and all roles require a National Criminal History
Applic at ions fo r th es e posi tion s close 3p m Mond ay 28 Nove mber 2022 Fo r fu rthe r in fo rm at ion: www.wanga ratt a. vic. gov. au /a bout-c ouncil /c areers or phon e 03 57 22 0 888 Early Childhood Te ache r Full Time & Part Time (22 hours/week) available Te mpor ar y (1 2 mo nt hs) $40.01p h +s uper Wa ngarat t a C hild re n’s S ervice s is c urre ntly lookin g fo r a full-tim e & p ar t-tim e q uali fi e d E arly Childhoo d Te acher to oi n ou r te am in 2023 This new position to children services will facilitate a nd run our inte grate d 3 -yea r- ol d k inde r p ro gram We pay ove r awa rd wages w ith g enerou s ince ntive s ava ilable and also o e r the o ptio n of havin g s choo l holid ays o The successful applicant will require the following: • Ba chelo r of Teachin g (Ea rly C hildhood) o r equi va lent (a pprove d by ACECQA) • Current F irst A i d C er ti fi cate • Anap hy la xi s
Career Opportunitie s
with Children Check and all roles require a National Criminal History Check Career Opportunitie s Applic at ions fo r th es e posi tion s close 3p m Mond ay 28 Nove mber 2022 Fo r fu rthe r in fo rm at ion: www.wanga ratt a. vic. gov. au /a bout-c ouncil /c areers or phon e 03 57 22 0 888
If this opportunity suits you, please scan the QR code to apply
opportunity has become available for an Intake &
cer, who will be responsible for providing NDIS participants
plan management support,
positive
engaging
us. Ideally
interpersonal
communication
0429
371. Join a nationally recognised Employer of Choice Supportive team culture providing development and growth Generous salary packaging bene ts INTAKE & ENGAGEMENT OFFICER SHEPPARTON – FULL TIME EMPLOYMENT OOK YO UR CL ASSIFIEDS NO W online www.sheppadvise r. com.au cl as sifieds @s heppartonadvise r. com.au P hone 03 58 32 89 89 CLASSIFIED
An
Engagement Of
with
ensuring a
and
experience with
you will have previous experience working within the NDIS, along with strong
and
skills. For more information please contact Kerrie Simpson Thouliss on
894

opportun ities . T h e p os itio n is an a mazin g opportun it y to make a rea l d i e renc e to our loca l commun it y.

For applicants that are shor tlisted to the inter view st age, these will be held Thursda y 8 a n d Friday 9 D ecembe r 2 022.

Fo r fu rther enquiries: Ste phe n S wa rt D irector – S ustainabilit y & C ulture on 0 41 8 9 5 4 1

ENGLISH lavender and Rosemary plants $3 ea. Ph 0417 427 317

FOLD UP TABLE 1.2m x 60cm, $20 Ph 0412 753 587

HIPPEASTRUM PLANTS pink/white and red available, 20cm pots $15 each Ph 0438 217 408

JACARANDA TREES 15cm tall, $3 each, Ph 0417 427 317

LADIES bike, Northern Star good condition $50 ph 0400 925 569

MYNA BIRD TRAPS $50 Mooroopna Men's Shed Ph Michael 0418 993 692

WORM JUICE 2 litres

FOR SALE

ALLTYPE

RHUBARB

SOCIETY

The Adviser. Australia No.1:1638 Wednesday, November 23, 2022 – Page 21 UP TO 50% OFF SELECTED GIFTS Unbeatable Christmas 18ct Gold Diamond Ring Was $4499 Now $2699 8521717 Certified 1 Carat Diamond Solitaire Ring Was $8999 Now $5499 9ct Diamond Earrings Were $1199 Now $599 18ct Gold Diamond Earrings 2 Diamonds=1.00ct Were $4499 Now $2799 9ct Diamond Pendant TDW=.33ct Was $999 Now $499 9ct Diamond Was $699 Now $349 9ct Diamond Earrings Were $1499 Now $799 9ct Diamond Ring Was $3299 Now $1799 9ct Diamond Ring Was $1599 Now $799 Now $99.50 Slider Pendant Now $159 7311024 Was $479 Now $279 Ring Was $1199 Now $699 8mm Studs Were $29.90 Now $19.95 Were $39.90 Now $19.95 20mm Hoops Were $79.90 Now $39.95 Circles in Time Pendant Now $39 1701325 Twist Bangle Now $89 1911008 Dress Ring Was $59.90 Now $29.95 Trilogy Ring Set Was $99.90 Now $59 Europeanmadeanddesigned exclusivelyforProuds 9ct2-TonePendant Was$99.90 Now$39* 2521474 #No Diamond Content Beautiful Gifts of Love Sterling Silver Gift Ideas n i B a Wa $129 N w $79 13 BLOCKBUSTER DEAL $700 PRICE HALF PRICE HALF HALF HALF PRICE SAVE $500 SAVE $40 SAVE $60 SAVE $50 $30 SAVE $1800 NOW ONLY $39 with any other purchase * Y withinrHeaMine Catalogue OUT NOW CLASSIFIEDS T 03 58 32 8989 W www.sheppadviser.com.au THE For your next advertising campaign phone 5832 8989. A member of The Victorian Country Press Association STORAGE UNIT 2.26m W x 110cm x 63cm D, 7 shelves all metal, easy dismantle for transport $50 Ph 0412 753 587 Application Requirements and Role Description can be obtained from : www.smotanathalia.catholic.edu.au/about/employment Applications to be emailed to: principal@smotanathalia.catholic.edu.au Applications close Monday 5th December, 2022 StMaryoftheAngelscommunitypromotesthesafety, wellbeingandinclusionofallchildren. 7 – 12 Catholic Secondary College located in Nathalia which is gap year school leaver. program, camps and excursions. The role also provides a pathway This 12 month role provides an opportunity to gain valuable Catholic Secondary College.
317
garlic plants $3 ea. Ph 0417 427
317
simple way for job seekers and employers to come together! For more information or to place your employment advertisement, please phone 5832 8989 or email classifieds@sheppartonadviser.com.au C ove ring six newspaper to wns on average w eekly in one hit The Goulburn and Murray Valle ys’ larg est cir culating newspaper
PET ADVERTISERS PLEASE NOTE: As of July 2019, it is now a requirement under the Domestic Animals Act 1994, that an advertisement must include the unique source number (required from the Pet Exchange Register) of the seller and the individual microchip number of each cat or dog being sold or given away. These requirements apply to puppies and kittens as well as adult dogs and cats. For further information phone 5832 8900.
plants $4 ea. Ph 0417 427
A
PEA STRAW small squares, Numurkah call John on 0458 622 025 or Tallygaroopna call Rod on 0428 852 498 TALLY LIONS CLUB
PETS
For your next advertising campaign phone
5832 8989
FOR ALL YOUR GARDENING NEEDS •Free Quotes •Lawn Mowing •Hedging & Pruning •Gardening & Maintenance •Rubbish Removal •Mulching •Clean ups •Body Corporate & Commercial INFO@TOTALCAREGS.COM.AU CALL TONY 0448 047 476 Gardening• • •
GARAGE DOORS Supply, install
service. Garage doors, Automatic doors & Gate openers Call
280
&
Phil on 0418 577
plants & garden beds $4 each Ph 0417 214 983 BOOSTER car seat, Britax Safe n Sound, colour black grey good condition $50 ph
VINTAGE Avon figurines little girl blue, $15. Church mouse bride & groom, $15 for both. Ph 0409 185 377 Firewood John The Woodcu er Phone John 0408 579 014 SAWN TIMBER CUT TO ORDER Firewood• • • AVON collectable pipe decanter, still in original box. Windjammer after shave full 3 fl oz $25. Ph
TABLE 1.6m x 90cm plus 6 fold up chairs,
outdoors
BARGAIN BUYS BARGAIN BUYS • Aluminium & Glass • Pool Fencing • Slatted Screens • Timber Finish • Sliding Gates • Temp Fencing • Onsite Welding Local Pool Fencing Specialists A&G CUSTOM FENCING CALL 0414 993 394 WWW.ALUMINIUMGLASSPOOLFENCING.COM.AU Fencing• • • Child Care Centre Coordinator Fu ll Ti me $79, 06 2p a +s uper Wangaratta Children’s Service is currently seeking a Lon g Day Care C oo rd in ator fo r o u r l on g d ay care a n d 4 k inde r p ro grams . O u r s er vic e is m ad e u p of a g ro u p of e ducator s p assion ate a bo ut deli ve ring b est p ract ice; w ith l ots of o ppor tu nity to hel p s hap e a c ompassionate , s upportive a nd a h olisti c c hild re n s ervice s. Wo rking in a dyn ami c s pac e the s u ccessfu l applicant will b e re quired to deli ve r th e fo llowing: • Coordinati o n of the d ay-to- day o pe rati o n of th e c entre • Recruitm ent , m otivatio n a n d i nspi rati o n for ou r tea m of e ducator s to c
excellent for pot
0400925569
0409 185 377
suit
$30 Ph 0412 753 587
ontinu e to deliver best p ract is e
• Unde rstand and interpret the rel evant indu stry re gulati on s a n d l egislati on
w ill be r equi re d to hol d at least a D iploma in Children’s S ervices or above an d c urre nt F irst A d Leve l 4 If you are interested, a detailed Position Description i s ava ilable bel ow Fo r fu rther enquiries: J ade Salmon Famil y & Ea rly C hildhoo d C oo rd in ator on 0 3 572 2 814 0 o r .s almon@ wa ngarat ta .v ic .gov.a u The successful applicant will be re quired to prov id e a co py of thei r Covid-19 Va ccin at io n Certifi cate prio r to commenceme nt Rural City of Wangaratta is a child safe and equal opportunity employer. Employment applications from AboriginalandTorresStraitIslanderpeoplesandpeople from culturally and linguistically diverse backgrounds are encouraged. In addition, applications for positions that work with children must provide referees who can comment on their experience working with children. These roles also require a valid Working with Children Check and all roles require a National Criminal History Check Career Opportunitie s Applic at ions fo r th es e posi tion s close 3p m Mond ay 28 Nove mber 2022 Fo r fu rthe r in fo rm at ion: www.wanga ratt a. vic. gov. au /a bout-c ouncil /c areers or phon e 03 57 22 0 888 Manager – Arts, Cul ture & Events Fu ll Ti me $131 ,950pa + supe r A n exc itin g o ppor tu nit y c urre ntl y exi sts for a n ex pe rience d leade r to oi n the R ura C it y of Wa ngarat t a in the p os itio n of M anage r A rts, Cu lture a n d Events . T hi s p os itio n ove rsees the activities o f the Wanga ratt a Per fo rming A rts & Co nventi o n C entre , Wanga ratt a A r t G allery Wangaratta Lib rary Events and Youth & Inclusion A s a key leade r in o u r org anis atio n you w ill h ave th e o ppor tu nit y to manag e a n d s uppor t p laces, projects a n d act ivitie s that c onne ct , c eleb rate an d enhanc e o u r c ommun it y. Yo u w ill work closel y with internal a n d external sta ke holder s to delive r p riorities that sup por t the l ive s of o ur
c
s w ith th e e ne rgy a nd
r q ualit y o utcome s fo r C ouncil
p ar t
a for ward -thinkin g
Cit
ratt a
d fl exibl e c aree r a n d lifesty le
Hands- o n experienc e runnin g a l arg e C entre, includin g e e ctive roste ring a n d wag e c ontrol , an d g uidin g a l arg e team’s p er fo rm anc e w ill b e see n as d esirable Th e s u ccessful a pplicant
re sidents an d v isitor s. We are s eekin g
andidate
passio n to delive
an d ou r commun it y as
of
organisati on Th e Ru ral
y of Wanga
o e r s fanta sti c a n
01 The successful applicant will be re quired to prov id e a co py of thei r Covid-19 Va ccin at io n Certifi cate prio r to commenceme nt Rural City of Wangaratta is a child safe and equal opportunity employer. Employment applications from AboriginalandTorresStraitIslanderpeoplesandpeople from culturally and linguistically diverse backgrounds are encouraged. In addition, applications for positions that work with children must provide referees who can comment on their experience working with children. These roles also require a valid Working with Children Check and all roles require a National Criminal History Check Career Opportunitie s Applic at ions fo r th es e posi tion s close 3p m Mond ay 28 Nove mber 2022 Fo r fu rthe r in fo rm at ion: www.wanga ratt a. vic. gov. au /a bout-c ouncil /c areers or phon e 03 57 22 0 888 FOR LEASE VACANT HAIR & BEAUT Y SALON Property Features: •Located in busy neighbourhood shopping complex • •Ability to sub-let room & chairs •Clean & modern decor •Ample on street parking •Has been a hairdresser for 30+ years For all enquiries & inspections 0448 541 592 / 0439 66 66 88 Premises can be leased for other retail options. FOR LEASE EMPLOYMENT House alterations | Bathroom renovations Decks | Kitchen and Laundry renovations Delivering Expert Home Improvements Call David 0457 023 410 Construction• • • BOOK YO UR CL ASSIFIEDS NO W online www.sheppadvise r. com.au si fieds@shepparto nadviser.com .a u P hone 03 58 32 8989 CLASSIFIED ATYOURSERVICE
Page 22 – The Adviser Australia No.1:1638 Wednesday, November 23, 2022 WATER CARTAGE JACOBSONS TRANSPORT BIGGER LOADS BETTER VALUE 7 DAYS 7 DAYS Lot 1 & 2 Huggard Drive, Mooroopna 5825 3433 or 5825 2323 Join our region’s best Trades & Services ATYOURSERVICE T 58 32 89 89 or email classifieds@sheppartonadviser.com.au Water Cartage• • • 5827 1372 Locally Owned and Operated 6 DAYS A WEEK 1.5, 3, 6 & 10 METRE SKIPS FOR THE CLEAN-UP AND REMOVAL OF YOUR HOUSE, GARDEN AND YARD WASTE. SA9880 COMMERCIAL & DOMESTIC SKIPS EFFICIENT RUBBISH REMOVAL IN THE GOULBURN VALLEY & NORTH EAST VICTORIA On time every time | Call us today! 0419 538 538 Bin Sizes 2m 3m 4m Phone John 0400 774 411 Waste Removal• • • Waste Removal• • • If you’ve got the metal, we’ve got the cash It’s CASH FOR SCRA P ME •C as h buye rs of & non ferrou s • Far m clean-ups •O ld machiner y, truck bodies •Bat teries, Radiator Bras s & Cast Iron 13 5 Old S heppar 58 21 GREEN ROOFING RESIDENTIAL & COMMERICAL ROOFING Call Harley Green 0457 930 035 • Pressure clean all roofs, paths & patio areas • Re-Spray colour of your choice • De-Mossing • Re-Bedding & Pointing • Gutter vac cleaning Repair & Insurance Work SPECIALISES IN ROOF RESTORATION Email: admin@greenroofing.com.au Country Vic TREE REMOVALS Contact Gene on 0455 365 659 countryvic.treeremoval@gmail.com · Tree Trimming & Pruning · Total Tree Removal · Fully Qualified Professional · Prompt obligation free quote · Insured · Emergency works Tree Maintenance• • • Renovating• • • Removal• • • Roofing• • • POOL AND SPA BARRIER CERTIFICATION E: INFO@CERTPOOL.COM.AU CALL 0429 621 792 IN-PS 74060 WWW CERTPOOL. C OM.A U Mobile: 0417 383 510 SERVING ALL MELBOURNE FOR OVER 25 YEARS www.mannies.com.au info@mannies.com.au RE-STUMPING UNDERPINNING FLOOR LEVELING BUILDING PERMITS FOR A FREE QUOTE & ADVICE CALL SIMON T: 9309 0700 M: 0411 174 000 E: fivestarreblocking@hotmail.com FIVE STAR REBLOCKING & UNDERPINNING 29 YEARS EXPERIENCE •BUILDING PERMITS SUPPLIED • COMPUTER FLOOR LEVELLING •WORK IS GUARANTEED • FULLY INSURED • 15 YEAR GUARANTEE • NEW EXTENSION (FRONT & REAR) • ALL SUBURBS M: 0418 284 939 E: info@checkandprotect.com.au PROFESSIONAL & PRACTICAL INSPECTIONS FULLY LICENSED & INSURED (CIN-PS 74222) Pool Inspections• • • Reblocking• • • Pool Inspections• • • Reblocking• • • Recent conditions have greatly increased the population of disease transmitting mosquitoes in our area. Call now for a FREE quote Available 7 days a week CALL 04 38 401 212 Your local termite & mosquito expert More than 32 years experience IN-PS72310 Pool & spa barrier advice consultations and compliance inspections CALL ROW 0413 580 937 Fully insured and VBA registered GV based business servicing the local area PAINTER John Paxton Painting + Maintenance • Local Painter • Fully insured • 30 years experience 0490 894 318 ABN - 279006259 75 MOWING • GENERAL LAWN MAINTENANCE PRUNING & HEDGE TRIMMING • FERTILISING PEST & DISEASE CONTROL • MULCHING G ARDEN MAINTENANCE Contact Troy for an obligation free quote: Ph 0439 623 123 Email hoopersgm@outlook.com ABN: 125089665544 We haven’t got it? We’ll get it, or we’ll make it ON SITE SERVICE steveaddison393@gmail.com 40 Baynes Rd, Murchison 0400 509 552 Mon, Wed, Fri & Sat 9am - 5pm Tues & Thurs 2pm - 5pm WE COME TO YOU! OR COME SEE US IN MURCHISON! FREE FITTING STRUTS FOR CARS, CHAIRS, CARAVANS ETC. NEW & REFURBISHED STRUTS PH 0432 583 243 Motor Trimmers & Upholstery• • • Gardening• • • Painting• • • Gas Struts• • • Our region’s best Trades & Services ATYOURSERVICE

Seven Morning News 12.00 Movie: The Maltese Falcon (1941) Humphrey Bogart, Mary Astor, Gladys George. 2.00 House Of Wellness 3.00 The Chase 4.00 Seven News At 4 5.00 The Chase Australia 6.00 Seven News 7.00 Better Homes And Gardens 8.30 Movie: Green Book (2018) Viggo Mortensen, Mahershala Ali, Linda Cardellini. 11.10 To Be Advised 1.00 Home Shopping 6.00 Home Shopping 6.00 Today 9.00 Today Extra 11.30 Morning News 12.00 My Mum Your Dad 1.30 Getaway 2.00 Pointless 3.00 Tipping Point 4.00 Afternoon News 4.30 Hot Seat 5.30 News 6.00 News 7.00 A Current Affair: Tracy Grimshaw -

Weekend Sunrise 10.00 The Morning Show: Weekend 12.00 The Farewell 8.00 Country Home Rescue With Shaynna Blaze 9.00 Dream Listings Byron Bay 10.00 Escape To The Chateau 11.00 Nine News Late 11.30 Bluff City Law 12.20 Family Law 1.10 Drive TV 1.30 TV Shop 2.30 Global Shop 6.00 Today 9.00 Today Extra 11.30 Morning News 12.00 Movie: The Mystery Of Michelle (2018) 1.45 Garden Gurus Moments 2.00 Pointless 3.00 Tipping Point 4.00 Afternoon News 4.30 Hot Seat 5.30 News 6.00 News

6.00 Morning Programs 11.30 Soccer. 2022 FIFA World Cup. Group C. Mexico v Poland. Replay. 2.00 Soccer. 2022 FIFA World Cup. Group D. France v Australia. Replay.

5.30 FIFA World Cup 2022 Daily World Cup Show

6.00 FIFA World Cup 2022 Preview Show

6.30 News 7.30 David Attenborough And The Giant Elephant 8.30 Soccer. 2022 FIFA World Cup. Group F. Morocco v Croatia. 11.30 Soccer. 2022 FIFA World Cup. Group E. Germany v Japan. 2.30 Late Programs

7.00 ACA 7.30 2022 ARIA Awards 9.15 Ed Sheeran: Full Circle 10.15 Nine News Late 10.45 Emergency Call 11.35 Pure Genius 12.30 Tipping Point 1.30 TV Shop 2.30 Global Shop 3.00 TV Shop 4.00 Believer’s Voice Of Victory 4.30 ACA 6.00 Today 9.00 Today Extra 11.30 Morning News 12.00 Movie: Blueprint To The Heart (2020) 1.45 Garden Gurus Moments 2.00 Pointless 3.00 Tipping Point 4.00 Afternoon News 4.30 Hot Seat 5.30 News 6.00 News 7.00 ACA

TV Guide - WEDNESDAY NOVEMbER 23 TO TUESDAY NOVEMbER 29, 2022 ONE STOP LAUNDRY SHOP 2 INSIDE DOG WASHERS with WARM WATER & FIDO DETERGENTS

6.00 Morning Programs 11.30 Soccer. 2022 FIFA World Cup. Group E. Spain v Costa Rica. Replay 2.30 Soccer. 2022 FIFA World Cup. Group E. Germany v Japan. Replay.

5.30 FIFA World Cup 2022 Daily World Cup Show 6.00 FIFA World Cup 2022 Preview Show

5 506 608 803 30 SATURDAY

Movie: Killing Mommy (2016) 2.00 Police: Hour Of Duty 3.00 The Chase 4.00 News 5.00 The Chase Aust 6.00 Seven News 7.00 Home And Away 7.30 Code 1: Minute By Minute: The Air Show Disaster 8.30 Movie: Unhinged (2020) Russell Crowe, Caren Pistorius. 10.30 The Latest: Seven News 11.00 The Amazing Race 12.00 Movie: Point Last Seen (1998) 2.00 Shopping 5.00 News 5.30 Sunrise 6.00 Sunrise 9.00 The Morning Show 11.30 Seven 5.30 Border Security: Australia’s Front Line 6.00 Seven News 7.00 7NEWS Spotlight 8.00 Motorway Patrol 8.30 Movie: Salt (2010) Angelina Jolie, Liev Schreiber, Chiwetel Ejiofor. 10.30 The Front Bar 11.40 Autopsy USA: Patty Duke 1.00 Home Shopping 5.00 Seven Early News 5.30 Sunrise 6.00 Sunrise 9.00 The Morning Show 11.30 Seven Morning News 12.00 Movie: Murder By Numbers (2002) Sandra Bullock, Ben Chaplin, Ryan Gosling. 2.30 Border Security: International 3.00 The Chase 4.00 Seven News At 4 5.00 To Be Advised 6.00 Seven News 7.00 Home And Away

(2019) 7.30 Taronga: Who’s Who In The Zoo 8.30 Movie: Bridget Jones: The Edge Of Reason (2004) 10.35 Movie: Knocked Up (2007) 1.00 Great Australian Detour 1.30 TV Shop 4.00 Take Two 4.30 Global Shop 5.00 TV Shop 5.30 Skippy 6.00 Getaway 6.30 ACA 7.00 Weekend Today 10.00 Today Extra: Saturday 12.00 Golf. PGA Australia. Australian PGA Championship. Third round. 4.30 Getaway 5.00 Election 2022: Victoria Decides Polls Close 6.00 News

WITH SEPARATE ANIMAL CARE SECTION WASH AND DRY HORSE RUGS AND ALL ANIMAL BEDDING CLEANED & OPEN EVERYDAY FROM 6AM - 10PM FREE CAR PARKING

6.00 Morning Programs 8.30 Soccer. 2022 FIFA World Cup. Group H. Uruguay v Korea Republic. Replay. 11.30 Soccer. 2022 FIFA World Cup. Group H. Portugal v Ghana. Replay. 2.30 Soccer. 2022 FIFA World Cup. Group G. Brazil v Serbia. Replay. 5.30 FIFA World Cup

6.30 News 7.30 Arctic Sinkholes 8.30 Soccer. 2022 FIFA World Cup. Group G. Switzerland v Cameroon. 11.30 Soccer. 2022 FIFA World Cup. Group H. Uruguay v Korea Republic. 2.30 Late Programs

2022 Daily World Cup Show 6.00 FIFA World Cup 2022 Preview Show 6.30 News 7.30 Engineering Reborn 8.30 Soccer. 2022 FIFA World Cup. Group B. Wales v Iran. 11.30 Soccer. 2022 FIFA World Cup. Group A. Qatar v Senegal. 2.30 Late Programs

5.00 The Chase Australia 6.00 Seven News 7.00 Home And Away 8.30 The Front Bar 9.30 Kitchen Nightmares Australia 10.35 The Latest: Seven News 11.05 Monster Mansion: Evil Behind Bars 12.30 Home Shopping 5.00 News 5.30 Sunrise 6.00 Sunrise 9.00 The Morning Show 11.30 7.00 Border Security: Australia’s Front Line 7.30 Dogs Behaving (Very) Badly 8.30 The Good Doctor 9.30 S.W.A.T. 10.30 The Latest: Seven News 11.00 Chicago Fire 12.00 The Resident 1.00 Home Shopping 5.00 Seven Early News 5.30 Sunrise

Morning News 12.00 Movie: The Lover In The Attic: A True Story (2018) Molly Burnett. 2.00 Kochie’s Business Builders 2.30 Border Security: International 3.00 The Chase 4.00 Seven News At 4 8.30 9-1-1 9.30 S.W.A.T. 10.30 The Latest: Seven News 11.00 Heartbreak Island Australia 12.00 The Resident 1.00 Home Shopping 5.00 Seven Early News 5.30 Sunrise 6.00 Sunrise 9.00 The Morning Show 11.30 Seven Morning News 12.00 Movie: Falling Down (1993) Michael Douglas, Robert Duvall, Barbara Hershey. 2.30 Border Security: International 3.00 The Chase 4.00 Seven News At 4 5.00 To Be Advised 6.00 Seven News

7.00 Election 2022: Victoria Decides –Vote Count 8.00 Election 2022: Victoria Decides –Election Night Live 9.30 Election 2022: Victoria Decides – Analysis 10.30 Movie: Truth (2015) 1.00 Postcards 1.30 Reel Destinations: Lodge Life 6.00 Fishing Australia 6.30 A Current Affair 7.00 Weekend Today 10.00 Sports Sunday 11.00 Women’s Footy 12.00 Golf. PGA Australia. Australian PGA Championship. Final round. 5.00 News: First At Five 5.30 Postcards 6.00 Nine News Sunday 7.00 LEGO Masters Bricksmas Special 8.40 60 Minutes

NEW LOCATION 5 STAR LAUNDROMAT NUMURKAH

SHEPPARTON · BENALLA · SEYMOUR · NUMURKAH SHEPPARTON Opp NAB Bank 372 Wyndham St BENALLA Opp Aldi 156 Bridge St SEYMOUR Opp McDonalds 36 Emily St NUMURKAH Opp Laino’s Pizza 111 Melville St Contact: Noelene 0427 314 310

6.00 Morning Programs 8.30 Soccer. 2022 FIFA World Cup. Group D. France v Denmark. Replay. 11.30 Soccer. 2022 FIFA World Cup. Group C. Argentina v Mexico. Replay. 2.00 Soccer. 2022 FIFA World Cup. Group D. Tunisia v Australia. Replay. 5.30 FIFA World Cup 2022 Daily World Cup Show 6.00 FIFA World Cup 2022 Preview Show 6.30 News 7.30 Madame Tussaud’s: The Full Wax 8.30 Soccer. 2022 FIFA World Cup. Group E. Japan v Costa Rica. 11.30 Travis Fimmel, Luke Bracey, Richard Roxburgh. 1.00 Home Shopping 6.00 Home Shopping 7.00 Weekend Sunrise 10.00 The Morning Show: Weekend 12.00 House Of Wellness 1.00 Surveillance Oz Dashcam 1.30 AFL Women’s Grand Final Pre-Game 2.30 Football. AFL Women’s. Grand Final. Brisbane Lions v Melbourne. 5.00 Seven News At 5

9.40 Nine News Late 10.10 The First 48: The Other Wife 11.10 Murder In A Small Town 12.05 Tipping Point 1.00 Outdoors Indoors 1.30 TV Shop: Home Shopping 4.00 Believer’s Voice Of Victory 4.30 Take Two 5.00 News Early Edition 5.30 Today 6.00 Today 9.00 Today Extra 11.30 Morning News 12.00 LEGO Masters Bricksmas Special 1.45 Talking Honey 2.00 Pointless 3.00 Tipping Point 4.00 Afternoon News 4.30 Millionaire Hot Seat 5.30 WIN News 6.00 Nine News 7.00 A Current Affair 7.30 My Mum Your Dad 9.10 Movie: The

Notebook (2004) Rachel McAdams, Ryan Gosling, James Garner. 11.35 Nine News Late 12.00 The Equalizer 12.50 Fishing Aust 1.30 TV Shop 2.30 Global Shop 3.00 TV Shop 4.00 Believer’s Voice Of Victory 4.30 ACA 5.00 News 5.30 Today 6.00 Today 9.00 Today Extra 11.30 Morning News 12.00 My Mum Your Dad 1.30 Getaway 2.00 Pointless 3.00 Tipping Point 4.00 Afternoon News 4.30 Millionaire Hot Seat 5.30 WIN News 6.00 Nine News 7.00 A Current Affair 7.30 Travel Guides 8.30 Movie: Central

Intelligence (2016) Dwayne Johnson, Kevin Hart, Danielle Nicolet. 10.40 Nine News Late 11.10 Skin A&E 12.00 Bluff City Law 12.50 Reel Destinations: Lodge Life 1.30 TV Shop 4.00 Believer’s Voice Of Victory 4.30 ACA 5.00 News 5.30 Today

The
No.1:1638 Wednesday, November 23, 2022 – Page 23 2 20 WEDNESDAY THURSDAY FRIDAY SUNDAY MONDAY TUESDAY 6.00 News 9.00 News 10.00 The Great Acceleration 11.05 Australia Remastered 12.00 News 12.30 Press Club 1.35 Media Watch 2.00 Parliament 3.00 Gardening Aust 4.10 Long Lost Family 5.00 Back Roads 5.25 Hard Quiz 5.45 VIC Election Announcements 6.00 The Drum 7.00 ABC News 7.30 7.30 8.00 Hard Quiz 8.30 Question Everything 9.00 Fisk 9.30 Would I Lie To You? 10.00 To Be Advised 10.40 News 10.55 The Business 6.00 News 9.00 News 10.00 Aust Story 10.30 That Pacific Sports Show 11.00 All Creatures Great And Small 12.00 News 1.00 Hard Quiz 1.30 Question Everything 2.00 Parliament 3.00 Gardening Aust 4.10 Long Lost Family 5.00 Back Roads 5.30 Hard Quiz 6.00 The Drum 7.00 ABC News 7.30 7.30 8.00 You Can’t Ask That 8.35 Q+A 9.35 Baby Surgeons 10.25 Stuff The British Stole 10.55 News 11.10 The Business 11.30 Love On The Spectrum 6.00 News Breakfast 9.00 ABC News Mornings 10.00 Q+A 11.10 Secrets Of The Museum 12.00 ABC News At Noon 1.00 Significant Others 1.50 Doc Martin 2.40 Poh’s Kitchen 3.10 Gardening Australia 4.10 Long Lost Family 5.00 Back Roads 5.30 Hard Quiz 6.00 The Drum 7.00 ABC News 7.30 Gardening Australia 8.30 Frankly 9.10 All Creatures Great And Small 9.55 Fisk 10.25 Troppo 11.20 ABC Late News 11.35 To Be Advised 12.20 Rage 6.00 Rage 7.00 Weekend Breakfast 9.00 Rage 12.00 ABC News At Noon 12.30 Vera 2.00 Stuff The British Stole: Shadow Boxer 2.30 Spicks And Specks 3.40 Landline 4.05 Nigella’s Cook, Eat, Repeat 4.40 Secrets Of The Museum 5.30 ABC News: Victoria Votes 6.00 Victoria Votes: Election Night Live 8.00 Victoria Votes: Election Results Live 10.30 Doc Martin 11.15 Shetland 12.15 Significant Others 1.10 Rage 6.00 Rage 7.00 Weekend Breakfast 9.00 Insiders 10.00 Offsiders 11.00 Compass 11.30 Praise 12.00 News 12.30 Landline 1.30 Gardening Aust 2.30 Question Everything 3.00 Fake Or Fortune? 4.05 The Pacific 4.50 Art Works 5.20 Antiques Roadshow 6.20 Frankly 7.00 ABC News Sunday 7.30 Death In Paradise 8.30 Movie: Lion (2016) Dev Patel, Nicole Kidman. 10.25 Miniseries: Ridley Road 11.25 Mystery Road: Origin 12.20 The Heights 2.10 Rage 4.00 Classic Countdown 5.00 Insiders 6.00 News 9.00 News 10.00 Landline 11.00 Antiques Roadshow 12.00 News 1.00 Rosehaven 1.25 Poh’s Kitchen Lends A Hand 2.00 Parliament 3.00 Gardening Aust 4.10 Long Lost Family 4.55 Back Roads 5.25 Hard Quiz 6.00 The Drum 7.00 ABC News 7.30 7.30 8.00 Aust Story 8.30 Media Watch 8.50 Movie: The Australian Dream (2019) 9.50 Freeman 10.50 News 11.05 The Business 11.20 Q+A 12.25 The Pacific 1.15 Parliament 2.15 Total Control 3.10 Rage 6.00 News 10.00 One Plus One 10.30 Dream Gardens 11.05 Restoration Aust. 12.00 News 1.00 Shetland 2.00 Parliament 3.00 Gardening Aust 4.10 Long Lost Family 5.00 Back Roads 5.30 Hard Quiz 6.00 The Drum 7.00 ABC News 7.30 7.30 8.00 Stuff The British Stole 8.30 Love On The Spectrum 9.30 Fake Or Fortune? 10.30 Space 22 11.00 News 11.15 The Business 11.35 Movie: The Australian Dream (2019) 12.35 Media Watch 12.50 Baby Surgeons 1.40 Parliament 2.40 Rage 4.25 Late Programs
Adviser. Australia
Soccer. 2022 FIFA World Cup. Group F. Belgium v Morocco. 2.30 Late Programs 6.00 Morning Programs 8.30 Soccer. 2022 FIFA World Cup. Group E. Japan v Costa Rica. Replay. 11.30 Soccer. 2022 FIFA World Cup. Group F. Belgium v Morocco. Replay. 2.30 Soccer. 2022 FIFA World Cup. Group E. Spain v Germany. Replay. 5.30 FIFA World Cup 2022 Daily World Cup Show 6.00 FIFA World Cup 2022 Preview Show 6.30 News 7.30 Letters And Numbers 8.30 Soccer. 2022 FIFA World Cup. Group G. Cameroon v Serbia. 11.30 Soccer. 2022 FIFA World Cup. Group H. Korea Republic v Ghana. 2.30 Late Programs 6.00 Morning Programs 8.30 Soccer. 2022 FIFA World Cup. Group G. Cameroon v Serbia. Replay. 11.30 Soccer. 2022 FIFA World Cup. Group G. Brazil v Switzerland. Replay. 2.30 Soccer. 2022 FIFA World Cup. Group H. Portugal v Uruguay. Replay. 5.30 FIFA World Cup 2022 Daily World Cup Show 6.00 FIFA World Cup 2022 Preview Show 6.30 News 7.30 Who Do You Think You Are? 8.30 How To Sleep Well With Michael Mosley 9.40 Ukraine: Life Under Attack 10.35 8 Out Of 10 Cats 11.30 FIFA World Cup Classic Matches 12.30 Late Programs 6.00 The Talk 7.00 Judge Judy 7.30 The Bold And The Beautiful 8.00 10 News First: Breakfast 8.30 Studio 10 12.00 Dr Phil 2.00 Entertainment Tonight 2.30 Good Chef Bad Chef 3.00 Judge Judy 3.30 My Market Kitchen 4.00 Farm To Fork 4.30 The Bold And The Beautiful 5.00 10 News First 6.30 The Project 7.30 Claremont: A Killer Among Us 9.00 My Life Is Murder 10.00 Bull 11.00 The Project 12.00 The Late Show With Stephen Colbert 1.00 Home Shopping 4.30 CBS Mornings 6.00 The Talk 7.00 Judge Judy 7.30 The Bold And The Beautiful 8.00 10 News First: Breakfast 8.30 Studio 10 12.00 Dr Phil 1.00 To Be Advised 2.30 Entertainment Tonight 3.00 Judge Judy 3.30 My Market Kitchen 4.00 Farm To Fork 4.30 The Bold And The Beautiful 5.00 10 News First 6.30 The Project 7.30 Claremont: A Killer Among Us 9.00 Law & Order: SVU 10.00 Blue Bloods 11.00 The Project 12.00 The Late Show With Stephen Colbert 1.00 Home Shopping 4.30 CBS Mornings 6.00 The Talk 7.00 Judge Judy 7.30 Bold 8.00 10 News First: Breakfast 8.30 Studio 10 12.00 Dr Phil 1.00 To Be Advised 2.30 Ent. Tonight 3.00 Judge Judy 3.30 My Market Kitchen 4.00 Farm To Fork 4.30 Bold 5.00 10 News First 6.30 The Project 7.30 The Living Room 8.30 The Graham Norton Show 9.30 Just For Laughs Australia 10.00 Just For Laughs Uncut 10.30 Luke Heggie: Tiprat 11.40 The Project 12.40 Stephen Colbert 1.30 Shopping 5.30 Infomercials 8.30 What’s Up Down Under 9.00 Australia By Design: Architecture 9.30 St10 12.00 Living Room 1.00 Everyday Gourmet 1.30 Healthy Homes Aust 2.00 Well Traveller 2.30 Cook It With Luke 3.00 What’s Up Down Under 3.30 My Market Kitchen 4.00 Farm To Fork 4.30 Taste Of Aust 5.00 News 6.00 Bondi Rescue 6.30 Hungry 7.00 Jamie’s OnePan Wonders 7.30 Blue Bloods 8.30 CSI: Vegas 9.30 NCIS 10.30 10 News First: Victorian Election Update 10.45 My Life Is Murder 6.00 Mass For You At Home 6.30 Turning Point With David Jeremiah 7.00 Leading The Way 7.30 Tomorrow’s World 8.00 The Living Room 9.00 Destination Dessert 9.30 Studio 10: Sunday 12.00 The Challenge Australia 2.00 Farm To Fork 2.30 Jamie’s OnePan Wonders 3.00 Cook It With Luke 3.30 Well Traveller 4.00 All 4 Adventure 5.00 10 News First 6.30 The Sunday Project 7.30 The Graham Norton Show 8.30 NCIS: Hawai’i 9.30 FBI 11.30 The Sunday Project 12.30 Home Shopping 4.30 CBS Mornings 6.00 The Talk 7.00 Judge Judy 7.30 The Bold And The Beautiful 8.00 10 News First: Breakfast 8.30 Studio 10 12.00 Dr Phil 1.00 To Be Advised 2.00 Entertainment Tonight 2.30 Good Chef Bad Chef 3.00 Judge Judy 3.30 My Market Kitchen 4.00 Farm To Fork 4.30 The Bold And The Beautiful 5.00 10 News First 6.30 The Project 7.30 The Challenge Australia 8.30 Ghosts 9.00 FBI: Most Wanted 11.00 The Project 12.00 The Late Show With Stephen Colbert 1.00 Home Shopping 4.30 CBS Mornings 6.00 The Living Room 7.00 Judge Judy 7.30 The Bold And The Beautiful 8.00 10 News First: Breakfast 8.30 Studio 10 12.00 Dr Phil 1.00 To Be Advised 2.00 Entertainment Tonight 2.30 Good Chef Bad Chef 3.00 Judge Judy 3.30 My Market Kitchen 4.00 Farm To Fork 4.30 The Bold And The Beautiful 5.00 10 News First 6.30 The Project 7.30 The Challenge Australia 8.30 NCIS 10.30 NCIS: Hawai’i 11.30 The Project 12.30 The Late Show With Stephen Colbert 1.30 Home Shopping 4.30 CBS Mornings 6.00 Sunrise 9.00 The Morning Show 11.30 News 12.00
7.00
6.00 Morning Programs 8.30 Soccer. 2022 FIFA World Cup. Group G. Switzerland v Cameroon. Replay. 11.30 Soccer. 2022 FIFA World Cup. Group A. Netherlands v Ecuador. Replay. 2.30 Soccer. 2022 FIFA World Cup. Group B. England v USA. Replay. 5.30 FIFA World Cup Better Homes And Gardens 1.00 Border Security: International 1.30 To Be Advised 6.00 Seven News 7.00 Victorian State Election 10.30 Movie: Danger Close: The Battle Of
2022 Daily World Cup Show 6.00 FIFA World Cup 2022 Preview Show 6.30 News 7.30 Soccer. 2022 FIFA World Cup. Group D. Tunisia v Australia. 11.30 Soccer. 2022 FIFA World Cup. Group C. Poland v Saudi Arabia. 2.30 Late Programs Long Tan

Adviser SPORT

Turtle power

LOCAL Indigenous artist Craig ‘Jack’ Anselmi has illustrated a turtle design, which now features on the training tops and playing shorts of the Shepparton Junior Gators.

Players are proud to be showcasing the Indigenous Turtle on their new 2022/23 uniforms.

“The Shepparton Basketball Association is all about unity and inclusion. We welcome all to join up and play the great game. We really are a multicultural association with players from many and varied cultural backgrounds and this is something we truly embrace, and over time we plan to showcase flags and icons from the cultures of our players,” said GSBA President Peter Sutherland.

Since Basketball made its way to

Shepparton back in the 1970’s, Indigenous players have embraced the game. Well known identities include Leslie Bamblett, Ally Charles, Greg James, Dixie Patton, siblings Phillip, Robbie, and Jane Britten, and of course GV Giants star Eric Egan.

Player entries have doubled since 2021, pushing later game times onto juniors and seniors who are finishing at 10.30pm as places on courts proves tight.

The GSBA, in collaboration with Basketball Victoria, is working with Greater Shepparton City Council and Government bodies seeking to fast track more courts, in a bid to allow more people to play and attract premier Basketball games and tournaments to the region.

On the court

Basketball hoops at Kyabram Sports and Entertainment Centre got a work over earlier this week.

Young basketballers shot 236 points in less than 90 minutes on Monday afternoon in Kyabram Youth Club’s Summer basketball competition.

They did this on eight hoops which were set up on two courts and adjusted to heights to encourage success.

A further 250 points were later scored on four full-height rings by senior boys and girls.

Twenty four hours prior, 22 men and women sunk 245 points while playing in the club’s weekly senior social matches.

Match reports:

Jimmy Hargreaves (22 points) lifted his Hornets teammates on his shoulders to record an inspired 30-29 win over Raptors in Grade 6-8 division.

Raptors looked like they were home and hosed when they led by 12 points with 10 minutes remaining, but when the hereto-selfless Jimmy was given the green light to own the ball, he scored repeatedly. And when he didn’t score, he drew fouls and cooly deposited points at the free throw line. But it was also the defensive efforts of Jimmy’s brother Paddy Hargreaves and Cody Pyke which enabled the Hornets to hit the lead on the scoreboard in the last minute of the match.

Raptors, whose two talls, Brody Thompson (18 points) and Ben Chapman (14) were again dominant, had an inbound pass at the middle of the court with 2.4 seconds of the match remaining, but could not pull off the improbable.

The Raptors seem to like the close finishes. They bested the Wildcats 32-31 last round.

The other notable match of the junior competition was a drawn result in the youngest division between Gators and

Hornets (28-28).

Nate Carmody scored 20 points for the winners, while Ryder Morris (16) and Isaac Perry (12) were Hornets’ top scorers.

Indi Kent posted 22 of the 26 points her Gators team scored in the girls 3-4 division. They defeated the Hornets by 14 points.

Wes Smith (12) led his Gators to a two-point win over Hornets in Grade 2/3/4 boys division. He was well-supported by Hunter McCormack (6) and Benny Barnes (6).

Hornets were best served by two elevated players in Noah Virivirilau (12), and Seth (10).

Huxley Cottrell shot 24 points and Ben Brennan 22 for Wildcats in their win over Raptors. Aiden Dennis (6) and Lucas Alford (8) had strong games for the Raptors.

Kaden Cooper celebrated his birthday by top scoring (16 points) for Wildcats in their Grade 5/6 boys division victory over Hornets, 34-21.

Tyrone Riedell scored 10 points for the winners. Brody Wells

was Hornets top scorer with 11 points.

Ryan Carmody scored all of his Raptors 16 points in their win over Wildcats in boys Grade 2/3/4 division. Alex Rovenko (6) scored all of the Wildcats points, too.

Kyabram Youth Club is bringing basketball back to its community.

Basketball was lost when the town’s basketball association ceased to exist about 20 years ago. The club’s aim is to give Kyabram and district basketball enthusiasts, young and older, an opportunity to play basketball in their own town again.

Adults play Sunday afternoons and primary- and secondaryaged girls and boys play on Mondays.

A pre-school learn-to-play for boys and girls is also on Monday evenings.

For information on how to join Kyabram Youth Club's basketball offerings, go to www.kyabramyouthclub.com

Page 24 – The Adviser Australia No.1:1638 Wednesday, November 23, 2022
LOVING THE NEW UNIFORM... Artist Craig ‘Jack’ Anselmi has illustrated a turtle design, which now features on the 2022/23 training tops and playing shorts of the Shepparton Junior Gators. Navika Arora points out the new addition. Photo: Supplied
Hit your Target Market with With our features and circulation, you are sure to reach your target market
SLAM DUNK... Hornets guard Tim Mawley shows his ball handling skills to the Raptors defence of Bas Cleary, Kallan Wright, Brody Thompson and Ben Chapman as teammate Jimmy Hargreaves calls for a pass in Kyabram Youth Club’s basketball competition on Monday night. Photo: Stephanie Holliday
The Adviser – Page 3
Special Kim O’Keefe Election Wrap Around November, 2022.
Page 4 –
Special Kim O’Keefe Election Wrap Around, November, 2022. The Adviser

Turn static files into dynamic content formats.

Create a flipbook
Issuu converts static files into: digital portfolios, online yearbooks, online catalogs, digital photo albums and more. Sign up and create your flipbook.