




![]()





Spring in Oxford always feels like a fresh start. The days grow longer, the flowers begin to bloom, and there’s a renewed energy throughout our town that reminds us just how special this community truly is.
One of the highlights of our season was celebrating excellence at our Annual Chamber Dinner & Dance. Congratulations again to this year’s recipients of Citizen of the Year, Organization of the Year, and Business of the Year. Each honoree represents the very best of Oxford — leadership, generosity, innovation, and a
steadfast commitment to serving others. Their impact reaches far beyond their titles, and we are incredibly fortunate to have all three right here in our community. They are not only deserving of recognition — they are inspiring examples of what’s possible when people choose to give back.
As we turn the page to summer, our calendar is filling quickly with opportunities to gather, celebrate, and strengthen the bonds that make Oxford feel like home. We are excited for the return of beloved events like Movies in
the Park, our annual Chamber Golf Tournament, and the 2026 Oxford Harvest Festival, returning to OARA. Each of these events brings neighbors together, supports local businesses, and showcases the spirit that defines Oxford and the communities the Chamber supports.
But here’s the truth: none of it happens without volunteers.
It truly takes a village to build the community we all want — one that is vibrant, welcoming, and full of opportunity. Whether you can give

an hour, a day, or serve on a planning committee, your involvement matters. Volunteering is more than lending a hand; it’s investing in the future of our area. It’s how friendships are formed, traditions are strengthened, and new ideas take root. As President of the Oxford Area Chamber of Commerce, I’m continually inspired by the generosity and enthusiasm of our residents and business community. Together, we don’t just host events — we build experiences. We don’t just support businesses — we champion one another. And we don’t just live here — we shape
the future of Oxford and our surrounding communities together.
This spring and summer, I encourage you to get involved. Attend an event. Volunteer your time. Support a local business. Invite a friend. Every small action contributes to something much bigger.
Here’s to a season of growth, connection, and community pride.
I look forward to seeing you around town!
Dennis McCartney President, Oxford Area Chamber of Commerce












By Dave Slaughter Contributing Writer
For Johnny Johnston, community isn’t something you talk about—it’s something you practice every day in small, often unnoticed ways. It’s found in the conversations he takes time for, the commitments he keeps, and the spaces he helps create where people feel welcomed, valued, and encouraged to grow.
Johnny’s path to Oxford began far from here. Raised near Pittsburgh, his journey eventually led him west to California, where he met his wife, Jenna. Though life carried them across the country for a season, the desire to return East and build something rooted and meaningful never faded. In 2010, they chose Oxford as their home—a decision that would quietly shape the community in lasting ways.
At the center of Johnny’s work is people. For more than a decade, he has served as campus pastor at Willowdale Chapel in Jennersville, where he offers guidance, compassion, and connection to individuals and families alike. His involvement throughout Oxford has grown naturally over time, shaped by a genuine love for the town and a willingness to serve wherever he’s needed. That same mindset led to the founding of the Oxford Soccer Club, a nonprofit recreational league built on the belief that youth sports should be accessible, encouraging, and grounded in character rather than pressure. Serving young players in the greater Oxford area, the club removes many of the barriers that often prevent families from participating, emphasizing inclusion, affordability, and positive development.
Johnny is quick to say that soccer is simply the vehicle. The real goal is helping children feel supported and celebrated while learning what it means to be part of a team. This philosophy is woven into the culture of the club—from how volunteers interact with players to the intentional creation of opportunities for kids of all abilities.
His leadership extends beyond the field. Johnny serves with Square Roots Collective, volunteers with and serves on the board of Oxford Mainstreet Inc., and is a devoted husband and father to his two sons, Cohen and Reeve. In every role, he leads with consistency and care, believing that who we are becoming matters just as much as what we accomplish.
Those who know Johnny often describe him as a connector. He brings people together through presence— remembering names, listening well, and making space for others to belong. His impact isn’t defined by a single title or achievement, but by the steady way he shows up for others. Being named Citizen of the Year reflects what many in Oxford have experienced firsthand: Johnny Johnston leads with humility, builds with intention, and places people at the center of every effort.




Weaving Business, Community, and Service Into Everything They Do


By Christine Grove
Contributing Writer
The husband-and-wife team behind The Sanders Team embodies a rare and inspiring balance of family, professional excellence, community commitment, and a genuine heart for service. Jeff and Corrie Sanders have built more than a successful real estate business—they have built a brand rooted in relationships, integrity, and giving back.
Jeff proudly served the nation as a Lance Corporal in the United States Marine Corps and was awarded the Purple Heart after being injured in combat in 2004. After returning home, he completed his college education at Penn State, searching for a career that aligned with his deepest values: people, service, and being part of something larger than himself. Real estate quickly emerged as the perfect fit, allowing him to serve others while building lasting connections in the community. A few years later, Corrie joined Jeff, bringing with her a strong background in marketing and contract negotiations.
Together, their complementary skills formed a dynamic partnership—one that balances strategy with heart and professionalism with approachability. What is their “secret sauce”? Is it their complementary strengths or their constant communication? Is it their shared love of people and their desire to see every client succeed? Or, as they simply put it, “It’s in our DNA to help those around us, so focusing on our community first is always our priority.” That philosophy is evident in everything they do.
From their popular Facebook series “Taco ’Bout It Tuesdays,” where they spotlight local businesses and nonprofits, to their financial support of numerous community events throughout Oxford and the surrounding area, The Sanders Team is everywhere—in the best way possible. They also give generously of their time, serving on local boards including Neighborhood Services Center, Oxford Area Recreational Authority, and the Oxford Area Historical Association, among others. Passionate advocates for veterans’

causes, Jeff and Corrie consistently show up for local events and use their platform to spread positivity and encouragement. They are tireless cheerleaders for the business community, the nonprofit sector, veterans, and the greater region they call home. Somehow, building a trusted brand, raising a family, and serving with kind hearts seems almost effortless for Jeff and Corrie.
And for those who wonder how this dynamic duo came to be—Corrie is happy to share the story. The two met at Penn State, where Corrie was swimming professionally and Jeff worked as the Membership Coordinator at the local YMCA. Corrie noticed the “cute guy” working the front desk, and Jeff remembered her name when she returned a few days later. The rest, as they say, is history.
Visit their website at TheSandersTeamRealty.com



A Cornerstone of Care for over 50 years



By Christine Grove
Contributing Writer
For more than five decades, LCH Health and Community Services has been a cornerstone of care and connection in southeastern Chester County. Founded in 1973 by local Kennett Square residents, clergy, and community advocates, the organization was established to meet the needs of a primarily Latino population drawn to the area by employment in the mushroom industry. During a time when many families faced barriers to healthcare and essential services, LCH Health and Community Services became a trusted place where individuals could seek guidance, ask questions, and access critical resources. Early leadership by Peggy Harris and Margarita Quiñones played a pivotal role in shaping the organization’s mission. By introducing healthcare services, they helped LCH Health and Community Services to life and laid a strong foundation built on compassion, advocacy, and a deep commitment to serving the community with dignity and respect.
As the community continued to grow and evolve, so did LCH Health and Community Services . In 2012, the organization became a Federally Qualified Health Center (FQHC) and joined the Pennsylvania Association of Community Health Centers (PACHC). This milestone expanded the organization’s capacity to deliver comprehensive, highquality care while maintaining its focus on accessibility and inclusion.
Today, LCH Health and Community Services strengthens the community by providing state-of-the-art, integrated, and personalized healthcare to individuals and families of all backgrounds. Known for its welcoming environment and communitydriven approach, the organization is recognized not only for the services it offers, but for the trust it builds with those it serves.
LCH Health and Community Services provides a wide range of services, including primary care, social services, women’s health, dental care, pediatrics, and integrated behavioral health. In the fall of 2023, the organization expanded its commitment to mental wellness with the
opening of the Pia Center for Behavioral Health, offering outpatient and group therapy services to better support the emotional and mental health needs of the community.
Through decades of service, LCH Health and Community Services has remained rooted in its mission to care for the whole person and strengthen the community it serves. By meeting people where they are and walking alongside them on their healthcare journeys, the organization continues to play a vital role in building a healthier, more connected community— today and for generations to come.
Additional information on LCH Health and Community services can be found on their website LCHCommunityHealth.org.


The Oaks Ministry enters 2026 in a season of renewed vision, reflection, and leadership. Founded to provide hope, healing, and restoration for women in need, the ministry serves through a Christ-centered residential environment that nurtures the whole person. Its mission is to partner with women on their journey toward healing by offering Christian-based, holistic, and trauma-informed care within transitional housing—fostering resilience and empowering each woman to reclaim her life. The vision of The Oaks Ministry is to see every woman transformed by Christ’s love, living with purpose, equipped
for independence, and thriving as a responsible member of her community. After a decade of faithful leadership under founder Robin Martin, a new chapter began in early 2026 with Lauren Arnold stepping into the role of Executive Director. Robin Martin’s vision has long guided the ministry in serving women with compassion, accountability, and grace, and that strong foundation continues to shape the direction and future of The Oaks Ministry.
At its heart, The Oaks Ministry exists to walk alongside women who are seeking hope and a fresh start. The program is designed to care for the

whole person—body, mind, and spirit— by providing safe housing, supportive relationships, life-skills development, and opportunities for spiritual growth. Within this compassionate community, women are offered the space and support needed for healing, renewal, and lasting transformation.
The year 2025 proved to be a season of resilience, change, and spiritual growth for the ministry. The year brought both challenges and moments of gratitude. Several meaningful milestones reflected continued growth and strengthening of the program. A core financial curriculum was restructured to be more hands-on and comprehensive, equipping participants with practical tools to work toward longterm financial stability. Trauma-informed care was expanded, along with increased training opportunities for staff, mentors, and volunteers to better support women on their healing journeys.
Mentorship remained a cornerstone of The Oaks Ministry’s work. Two new mentors joined the program, ensuring that each woman was paired with a dedicated and supportive mentor. Jackie Shaffstall was hired as the program manager and Heather Lawhorn role expanded to a full time case manager. In addition, a TraumaInformed Mentor Training Program was developed to equip volunteers with the skills and understanding needed to foster healthy, encouraging relationships. Organizational leadership was further strengthened with the addition of three new board members who bring diverse professional expertise and a shared commitment to the ministry’s mission. Looking ahead to 2026, The Oaks Ministry is guided by a new three-year strategic plan focused on expanding services to vulnerable populations within the community. An April 18th gala is being planned at the Barn of Nottingham

which is sure to be an lovely evening of fundraising, camaraderie and fellowship. The ministry is also excited to share
the establishment of a new home base in the Heritage Building in downtown Oxford—placing The Oaks Ministry firmly
in the heart of the community and wellpositioned to serve faithfully in the season ahead.


By Dave Slaughter
Contributing Writer
here’s something happening just down the road in Rising Sun — and it’s more than ice cream.
Inside Soda Jerk Ice Cream, the music plays softly in the background, families gather around small tables, and conversations stretch a little longer than expected. Phones are tucked away. Kids
color with crayons. Grandparents tell stories. And somewhere between the first scoop and the last sip of a vanilla shake, strangers become regulars.
That’s exactly how owners Chuck and Kate envisioned it.
“We take care of the people that take care of us,” Chuck shared during our recent visit. “The community literally pays our bills. Why wouldn’t we give back?”
That philosophy isn’t just talk. In 2026 alone, Soda Jerk is slated to participate in 60 community events, from bike nights and car shows to fundraisers and seasonal celebrations. They host community cleanup days (complete with free ice cream for volunteers), support local causes, and actively look for ways to make everyone feel included.
Continued on Page 22

Continued from Page 21
For some families, that inclusion is lifechanging. With gluten-free, dairy-free, oat-based, and low-sugar options, many children experience their first taste of ice cream inside these walls. “Chuck’s seen quite a few kids have ice cream for the
first time because no one else carried something they could have.” Kate said. And then there are the stories that linger.
A three-generation family visits regularly — a son bringing his mother
and grandmother, who lives with dementia. “This is one of the only places she wants to go and remembers,” Chuck shared quietly. Her order? A medium vanilla shake, every time.
Continued on Page 24






Continued from Page 22
Another customer once walked in carrying an Elvis Presley poster — a relic from her youth when she followed the King himself — and donated it to the shop. “This belongs here,” she told them. It now hangs proudly on the wall, part of the growing nostalgia that fills the space.
That nostalgia is intentional.
Chuck, a former manager at UPS, spent years commuting between Philadelphia and Baltimore, dreamed of building something different…something closer to home. When a long-vacant storefront in Rising Sun became available, he renovated it himself. The doors officially opened in June 2024. What they’ve built isn’t just a business. It’s what sociologists call a “third place”, not home, not work, but somewhere you belong.
“We just want to be a stable foothold in the community,” Chuck said. “Somewhere people know they can come out and have a good time.”
Continued on Page 26









Continued from Page 24
Whether it’s a nostalgic soda, a scoop of Exhausted Parent ice cream (infused with bourbon spiked espresso), homework at a corner table, or simply a conversation that lasts longer than expected, Soda Jerk Ice Cream offers something rare: a relaxed, personable space in an increasingly digital world.
Continued on Page 28





MICHAEL R. PERNA, Esquire
JENNIFER ABRACHT, Esquire
RYAN G. BORCHIK, Esquire
JOSHUA PARAMBATH, Esquire
with concentration in :
PERSONAL INJURY LITIGATION
CRIMINAL DEFENSE
DIVORCE/SUPPORT/CUSTODY/PFAs
AUTO ACCIDENTS
WILLS AND ESTATES
REAL ESTATE TRANSACTIONS
EMPLOYMENT LAW
BUSINESS FORMATION & DISPUTES
TEL/ 610-444-0933
PA@PA4LAW.COM
610 MILLERS HILL - P. O. BOX 96 KENNETT SQUARE, PA 19348
305 MARKET STREET, SUITE C1
OXFORD, PA 19363
SE HABLA ESPAÑOL



By Dave Slaughter
Contributing Writer
Just after sunrise, before the day fully finds its rhythm, a familiar scene unfolds at Early Bird Cafe. Coffee is poured. A regular settles onto a stool at the counter. Conversations begin softly—about the weather, the workday ahead, or nothing at all. For owner Rebecca “Becky” Murtha, this moment captures everything she loves about breakfast: comfort, connection, and the promise of a fresh start.
Becky has always been drawn to mornings—not just the food, but the feeling that comes with them. Breakfast, to her, represents possibility. That belief, paired with an unwavering commitment to quality and service, is what led her to open Early Bird Cafe as a place where
people don’t just eat—they belong. Her path into the restaurant world was shaped early by family and deep Oxford roots. In the 1970s, Becky’s grandfather owned and operated the Oxford Hotel, later purchasing the Post House Restaurant. Although he eventually resold the Post House, it remained one of his favorite places to gather. He was always a “counter guy”—someone who appreciated the quiet camaraderie found in a simple cup of coffee and conversation. Becky remembers that image vividly: her grandfather seated at the counter, at ease, part of the rhythm of the room. That memory left a lasting imprint. At Early Bird Cafe, the counter isn’t just functional—it’s intentional. Becky envisioned a space where farmers, early risers, and neighbors could sit side by side, share stories, and feel known.

Before becoming a business owner, Becky gained invaluable experience working demanding restaurant shifts, including overnight hours at the Broad Street Diner in Philadelphia. Those long nights introduced her to people from every walk of life—and even a few local celebrities—but more importantly, they taught her a lesson she still lives by: the customer is always right… even when they’re not. What matters most is listening, responding with care, and making things right.
That philosophy shows up in countless ways at Early Bird Cafe. Becky is known for going the extra mile, whether it’s customizing coffee orders, accommodating dietary needs, or responding directly to customer feedback. One moment stands out. After launching a new hot coffee drink, a customer reached

out asking if she would consider creating an iced version—and making it available on DoorDash. Becky did exactly that. The customer ordered it, loved it, and has since become a regular. It’s a small story, but it perfectly captures Becky’s approach: she’s not just serving customers—she’s creating fans.
Early Bird Cafe also reflects Becky’s personality in charming detail. Her love for chickens inspired the café’s décor and wall art, giving the space a playful warmth. Behind the scenes, she enjoys experimenting with new dishes, techniques, and flavors—always looking for ways to surprise and delight her guests while keeping the experience familiar and heartfelt. Engaged to Eric Weaver, Becky continues to pour her energy into a business rooted in care and connection. Her original goal was simple: create an early-morning gathering place where people feel seen, appreciated, and ready to start their day. Today, Early Bird Cafe has become exactly that—a place where community isn’t just talked about, but quietly lived out every morning.
It’s a story that fits naturally within the pages of The Oxfordian—and one that continues to unfold, one cup of coffee at a time.


Continued from Page 32
The Ware Auxiliary at Ware Presbyterian Village is proud to celebrate its 10th anniversary on Saturday, July 18, 2026. Festivities will kick off with a special Preview Party on Friday evening, July 17, from 6:00–8:00 p.m. in the historic Ware Mansion.
The Preview Party is a ticketed event ($10 per person) and features early shopping, door prizes, and tastings from our food court, including truffles, cheese, honey, shortbread, and more. New this year, we are excited to introduce a Retro Christmas Shop, offering vintage and oneof-a-kind items generously donated by our residents. The Train Club will host a display with trains running throughout
the evening, and crafters in the Pavilion at Vista Ridge will open their booths at 6:30 p.m. for early shopping.
Shoppers are invited to join us Friday evening and again on Saturday, July 18, from 9:00 a.m. to 3:00 p.m. Proceeds from the event benefit residents in the Health Center at Ware.
To purchase tickets for the Preview Party on Friday, July 17 ($10 per person), please send a check payable to Ware Presbyterian Auxiliary to: 7 E. Locust Street Oxford, PA 19363
Tickets will be held at the door and will serve as your admission to the shopping venue. Please include your phone number or email address so we may confirm your reservation. Tickets may be picked up upon arrival at the Ware Mansion. For questions, please email or text Carol Nelson at cmn123045@gmail.com.





By Ciearra Neidigh
Contributing Writer
Last summer, there was a big party at the OTE. There was an awesome balloon arch by M&R Creations, many laughs, and an actual Emmy being passed around the party on the second floor. A lot of people saw the photos from the party and sent their congratulations via Facebook, but not a lot of people know how Julia Neidigh’s Emmy came to be celebrated in Oxford.
Julia’s story starts a very long time ago,
in the 1900s, with Larry and Anne Nelson, who worked for the Oxford School District.
“Queen Anne,” as she was often referred to, was an English teacher and was also a part of many school theater productions. Larry was a guidance counselor. I cannot tell you how many times my husband, Luke, and I have been in town and someone came up to Luke and credited Larry with saving their lives by helping them find the right path when they had lost their way as teenagers… but that is a different story. Larry and Anne had two daughters, Vicki and Laura.
Vicki lived in her beloved Oxford most of her life and, through a series of twists of fate, found herself working for NBC. She had three redheaded children, Ben, Luke (my husband), and Julia. She would take the train from Oxford to New York, where she held an office in 30 Rockefeller Center. Vicki once told me that in the 30+ years she worked for NBC, she never once took the privilege for granted. Eventually, when her daughter Julia was old enough, she found her way to NBC as well.
Continued on Page 36
Continued from Page 35
After attending college at The University of Alabama, Julia had her first internship with Morning Joe and then The Today Show in New York. Here, she learned all the ins and outs of being in production. From there, Julia moved to NBC Sports as a Production Manager, covering NASCAR, PGA events, and the Indy 500. Keeping up with Julia’s location during these years was a challenge, as she was always traveling somewhere working on one of these events. I should be a good sisterin-law here and tell you that I religiously watched all of the PGA events that she worked on… but unfortunately, golf is boring. Sorry, Julia.
Julia worked on the U.S. Diving Trials, the U.S. Women’s Open, and then she got the call that she would be working on the 2024 Paris Olympics. Julia was in Paris for a month working on two shows. This dream was the result of years of hard work

Julia’s story wouldn’t be complete without me telling you that Vicki Neidigh was diagnosed with stage 4 metastatic breast cancer in 2019. She fought valiantly, with grace and kindness. My words will fail to convey to you how proud Vicki was that Julia covered the Olympic Diving Trials and, ultimately, the Olympics. Every member of our family, loved friends, and
her oncology team were gifted Paris 2024 swag bags with tons of branded items. She told every single person she saw that her daughter was working on the Olympics. It was Vicki’s final goal to make it to Paris to see Julia living out her dreams, which she did, before passing away surrounded by her family a few weeks later.
Continued on Page 38










Continued from Page 36
Julia has lived in Connecticut for a few years now, near her office at NBC Sports, but after Vicki passed, Julia still makes it a point to come home to visit us in Oxford often. She adopted my beloved nephew, Harold, from Scalleywags Rescue last summer.
In May 2025, there were several watch parties in Oxford and Chester County as we all streamed the awards ceremony, and the cheers were heard far and wide when NBC’s coverage of the Olympics took home the Sports Emmy Award.
When Julia and the Emmy arrived in Oxford in August, it was a grand day. Scalleywags raised over $1,000 that day in her honor. Mayor Philip Harris wrote a proclamation celebrating her and her achievements. Finally, her brother and I threw a party at the Octoraro Hotel with all of her Oxford friends and family. We had cake, shots, and just a good
Continued on Page 40






Continued from Page 38
time celebrating an Oxford girl who worked hard and is living her dreams.
Post-Emmy win, Julia is currently working on Football Night in America on NBC. As I write this, she is in Santa Clara working on the Super Bowl coverage. She is under contract to purchase her first home and is slated to get married in 2027 to Anthony Calabro. Her family and friends will be patiently waiting this May to see if she wins her second Emmy for the Super Bowl coverage. If so, there will be another party on the second floor. Either way, her brothers and I couldn’t be prouder of her.
Traveling the world might sound glamorous, but it also can be challenging. It is a challenge that Julia takes on with grace, strength, and courage… all while remembering her Oxford roots.








By HaLeigh Abbott
Contributing Writer
Some businesses are built on location. Others are built on legacy. At Collision Zone in Oxford, it’s both.
Owned by Jim and Claudette Guthrie and situated in a spot with deep automotive roots, Collision Zone has called its current location home since 2010 — but the history of that address stretches back to the 1960s, when
Jack’s Auto Body first opened its doors there. Before settling in, Collision Zone operated on Barnsley Road, where it ran as a full-service auto shop handling both collision and custom work. Moving into the current space wasn’t just a change of address — it was an inheritance of tradition.
Today, Collision Zone is a full-service collision repair and auto body painting shop, and the scope of what they handle might surprise you. From tires


and electronics to paint and structural repairs, the team is equipped to take a vehicle from damaged to road-ready under one roof. The collision side of the business comes first and foremost, and the shop works directly with insurance companies to make the repair process as smooth as possible for car owners.
That commitment to the customer experience starts before a single panel is touched. The shop prioritizes a thorough inspection upfront, identifying all damage early so that the repair timeline is as efficient and predictable as possible. The goal is simple: get the car owner back on the road with minimal disruption to their life. In an industry where hidden damage and surprise delays are all too common, that proactive approach sets Collision Zone apart.
The numbers back it up. Collision Zone has earned recognition as one of the top 10 shops in the nation for State Farm Insurance — a distinction that reflects not just technical skill but the kind of consistent, reliable service that major insurers trust. For customers, that credential carries real weight. It means working with a shop that has been vetted, measured, and ranked against thousands of competitors across the country.
What makes that level of performance sustainable is the team behind it.
Collision Zone has multiple employees who have been with the shop for a decade or more — a rarity in any trade, and a testament to the culture the ownership has cultivated. In a field that demands precision, experience matters enormously. Long tenures mean technicians who have seen it all, who know the shop’s standards inside and out, and who bring a level of consistency to their work that newer operations simply can’t replicate.
There’s something fitting about a shop with this kind of staying power occupying a location that has served the local automotive community since the Eisenhower era. The names have changed, the tools have evolved, and the vehicles look nothing like they did in the 1960s — but the core purpose remains the

same. Get your car fixed right, get it done efficiently, and treat the customer like a neighbor.
At Collision Zone, that’s not a mission statement. It’s just how they’ve always done it. Find out more information by visiting their website at collisionzoneinc. com or stop in at 106 Bethel Road in Oxford.

By Dave Slaughter Contributing Writer
Tucked into the heart of Oxford is a space that feels less like a fitness studio and more like a deep exhale. The Yoga Cove, founded by co-owners Shannon Snow and Kendell Pietuszka,
was created with a simple but powerful intention: to offer an inviting, cozy, and non-judgmental place where people can connect with themselves—and with one another.
“It’s yoga for regular humans,” Kendell says with a smile. The Yoga Cove isn’t about perfect poses or contorting bodies


into impossible shapes. Instead, it’s about meeting people where they are, helping them feel comfortable in their own bodies, and reminding them that while each person’s journey is unique, we’re often more alike than we realize.
Shannon and Kendell’s partnership grew out of a genuine friendship formed during their time as coworkers—bonded by shared conversations about selfbetterment, balance, and the quiet dream of creating something meaningful together. When the idea of opening a yoga studio began to take shape, the pieces seemed to fall into place naturally, with each step feeling affirmed along the way. Influenced by accessible, down-to-earth yoga voices like Yoga with Adriene, they envisioned a studio that felt welcoming rather than intimidating.
Oxford quickly emerged as the perfect home. Centrally located between their own homes, the borough also offered something they felt drawn to immediately: warmth. They were inspired by Oxford’s strong sense of pride, its family-friendly First Friday events, and a supportive small-business culture—along with the fact that the community didn’t yet have a dedicated yoga studio.
What truly sets The Yoga Cove apart, though, is its people. Each instructor brings something distinct to the mat. Shannon’s classes often focus on strength and creative sequencing, offering approachable challenges that empower students. Alyssa’s nurturing energy helps create a cozy, supportive atmosphere, and Tammy’s sessions encourage people to tune into their body’s cues and reconnect with themselves, while Jess’s Pilates instruction complements the yoga offerings. Kendell’s teaching emphasizes both movement and stillness, helping students release chaotic energy and replace it with calm. “Let it resonate,” she often says.
Both founders admit they were surprised by how naturally community began to form. Kendell found joy in realizing that building connection wasn’t as difficult as she once feared, while Shannon describes the deep reward of watching people of
all ages, shapes, and sizes grow more confident in themselves within a safe space.
As they move into their second year, Shannon and Kendell are focused on thoughtful growth—streamlining operations, exploring new workshops, and continuing to develop their business skills. “Less can be more,” Shannon reflects, embracing the idea that growth doesn’t always mean doing more, but doing what matters most. When asked how they hope people feel when they walk through The Yoga Cove’s doors, their answer is immediate and shared: calm—and accepted.
The Yoga Cove
39 S. Third Street #1
Oxford, PA
The YogaCove.com



Mark your calendar for the 2026 Oxford Harvest Festival on Saturday, September 19, 2026 from 10 AM to 4 PM. The Oxford Area Chamber of Commerce is pleased to partner with the Oxford Area Recreation Authority to host the festival for its second year at the park.
This family-friendly community event will feature more than 80 artisans and vendors. Visitors can enjoy a wide variety of food trucks serving local favorites while live music provides entertainment throughout the day. The festival will also include activities for children, making it a great outing for families looking to celebrate the fall season together. Whether browsing

vendor booths, sampling delicious food, or relaxing with friends and neighbors, there will be something for everyone!
Community members and visitors alike are encouraged to come out and support local while enjoying a day in the heart of the Oxford community.
Admission is free and open to the public. For more information, visit: https:// oxfordpa.org/harvest-festival/





By HaLeigh Abbott Contributing Writer
Some businesses are built on ambition. Some are built on necessity. Chad Howell’s landscaping company was built on all of that — and then, after a devastating August night in 2018, rebuilt on something even more powerful: community.
Howells Landscaping has been a fixture in the Oxford and Nottingham area since 1999, when Chad returned home from six years in the Marine Corps and decided to put his work ethic to use on his own terms. A graduate of Oxford High School, he had gotten his first taste of the trade working alongside a friend’s father before
enlisting in 1993. When he came out in 1999, he launched the business with the same discipline the Corps had reinforced in him. He even took a detour in 2010, driving tractor trailers for Herrs — but the pull of his own business was too strong, and he eventually made the decision to focus on
Howells full time. To this day, he remains loyal to the brands that have supported him along the way. “Herrs has helped support us so it’s only Herrs chips in the house,” he says with a grin. “Same with Camerons — we use their products as much as we can. I’m very big on local community.”
Continued on Page 54
Continued from Page 53
That loyalty was tested — and proven — on August 21, 2018, when a fire tore through the business and took everything. Trucks, equipment, tools — gone. “I was ready to throw in the towel because it was pretty traumatic to lose everything,” Chad recalls. What kept him going was standing right next to him. His son, then a junior in high school, refused to let the business die. “He wanted to continue the business, so we pooled our resources to keep it going.” And then the community showed up. “Our local churches, local businesses and friends — the Oxford community wrapped their arms around us and helped us rebuild.” It’s the kind of story that sounds too good to be true, until you spend five minutes with Chad Howell and realize this is simply how he’s always operated.
Today, Howells Landscaping runs a crew of about 11 employees and offers a full range of services: spring and fall cleanups, mulching, bed maintenance,








bush and tree installation, hardscaping, and scheduled property maintenance. When winter comes, the trucks shift to
snow removal, and when the holidays roll around, the team is out installing Christmas lights for clients including
The Octoraro Tavern, Edward Jones, and the Nottingham Inn. It’s a year-round
Continued on Page 56
Continued from Page 55
operation built on relationships that, in some cases, stretch back to the very beginning. “Some customers have been with Howells since the day we began,” Chad says. “Others we’d like to get to know.”
The vision that excites him most is the full transformation — a blank backyard canvas turned into something a family can actually live in. “I’d love to transform an entire yard with hardscaping and garden beds, making someone’s backyard livable — a space they can use all year long,” he says. Patios, fire pits, gathering spaces. Places where memories get made. It’s a natural extension of what drives him most about the work. “When you finish a job and step back and see how nice it looks and the customer is happy — that’s my favorite thing.”
Howells isn’t just a business. It’s a family operation, with Chad’s wife handling scheduling and two of his sons working alongside the crew. He and his high school girlfriend have been together 25 years, raising five kids ranging in age from 14 to 25. His oldest son is now eyeing a leadership role — and potentially the keys to the whole operation someday, if he chooses. Last year, at one of the
Continued on Page 58



Continued from Page 56
monthly team breakfasts Chad takes his employees to, that son looked across the table at his father, watching the easy camaraderie between the crew, and smiled. Chad didn’t need to say a word.
The business gives back in quieter ways too. When the Oxford Fire struck South Third Street in Oxford, Howell’s installed plantings in the affected area to help restore some beauty to the scarred block. They work regularly with The Lighthouse and have gone above and beyond for elderly clients during snow removal season, offering the extra support that doesn’t always show up on an invoice.”
I was born and raised here,” Chad says. “I just love this community and I always have.

I chose to raise my family here.” It shows — in the relationships with fellow small business owners who look out for each other, in the elderly veteran at Walmart
who gets a “Semper Fi” and sends an “Oorah” right back, and in the customers who have never once thought about calling anyone else.

Twenty-five years in, Chad Howell is still showing up — and still making things grow. Find out more by visiting howellslawnandlandscape.com/

In 2026, we mark the 10th anniversary of the Everyday Hero 5K/10K Run, an event created to honor and remember a remarkable man—Jerome Rodio.
Jerome’s life was defined by service. He served his country in the Navy, then spent years protecting the citizens of Philadelphia as a police officer. Yet, it was after he moved to Oxford that his impact on a community truly flourished. Opening a business on Third Street, Jerome immediately began volunteering, bringing his energy, dedication, and heart to countless local initiatives.
By the time of his passing in 2016, Jerome had become President of the Oxford Area Chamber of Commerce, yet
his contributions went far beyond titles. He could be found mentoring young business owners, organizing community events, and supporting local veterans. His hands-on approach and genuine care touched lives in ways both big and small—from helping neighbors in need to championing causes that strengthened the community fabric.
Though he arrived in Oxford later in life, Jerome’s presence was transformative. His vision and commitment made the town a better place to live, work, and play. He believed deeply in community, in giving back, and in inspiring others to do the same. That spirit is the very heartbeat of the Everyday Hero Run.

Proceeds from the run support the Oxford Veterans Breakfast and the Oxford Area Chamber of Commerce, continuing Jerome’s legacy by helping those who serve our country and those who serve our community.
As we celebrate our 10th anniversary, we invite runners, walkers, and supporters of all ages to join us. Step into the streets of Oxford, honor Jerome’s memory, and celebrate the spirit of community that he embodied every day. For more details, registration, and volunteer opportunities, visit OxfordPA.org
Join us to remember a true Everyday Hero and keep his legacy alive, one step at a time.

By HaLeigh Abbott
Contributing Writer
In a time of mass construction and cookie-cutter buildings, Heritage Post Frame is doing things differently. Founded by Jonathan Lapp in April 2013 and now co-owned with partner Steven Fisher, the Nottingham, PA-based company has built its reputation on quality craftsmanship, personal relationships, and a deep appreciation for the kind of building traditions that once defined rural America.
Lapp’s roots in construction run deep
— literally. “I grew up on a dairy farm and the family did all of their work and repairs on their own,” he says. That hands-on upbringing shaped not just his skills but his entire philosophy about building. After working with Quarry View Construction in Lancaster, he married in 2012 and saw an opportunity when his then-employer began shifting toward heavier commercial construction. He decided to branch out and build something of his own.
The result is a company that today serves clients across South Jersey, Maryland, and — increasingly — right

here in Chester County. “Humble beginnings,” Lapp reflects. “We’re still a very small company and have a great team and we have been very blessed.” That team now includes 14 employees, and local business has been picking up steadily since Heritage Post Frame completed its own building in East Nottingham Township in the summer of 2025. A recent local project, HM Auto Parts on East Ridge Road, is a visible example of their work taking shape close to home.

Heritage Post Frame specializes in post frame and timber frame construction, with a portfolio spanning pole buildings, barndominiums, commercial and residential structures, warehousing, breweries, wineries, and wedding barns. The process begins with an initial meeting and design consultation, followed by a detailed cost estimate. Once a contract is signed and permits are approved, construction gets underway. A simple garage might take four to six months; more complex projects can run two years or more.
But if you want to know what truly lights Lapp up, ask him about timber framing. “We love the timber frame aspect — it’s my favorite component,” he says. “It’s very pretty with old wood pin joinery. The style is coming back recently and it’s great to see.” More and more clients, he notes, want at least some element of timber framing in their build — a porch, an accent piece, exposed trusses. “Back in the day, everyone did timber framing. It requires maintenance and modern construction does not, so it took over for a while. But this generation is seeing the beauty of it.”
Event spaces bring that beauty to life most dramatically, and they remain among Heritage’s most rewarding projects. The company manages the building process end to end, coordinating with trades for plumbing, electrical, and other systems so clients have a single point of contact throughout.
Looking ahead, Lapp’s vision is measured and intentional. “We are very
focused to create a good end result for our client and provide a good quality build over growing,” he says. “A slow growth is ideal to maintain quality.” New materials and better value for clients are priorities, but so is something less tangible — bringing business back to being personal. Handshakes, honest communication, and making sure every client walks away happy.
“Shout out to our crew and our guys,” Lapp adds. “They are the best at what they do.”
To find out more about Heritage Post Frame, visit their website at https://www. heritagepostframe.com/

On Thursday, April 1, 1926 a small notice appeared in The Oxford Press stating, “Rotary Formed in Oxford”. This 10-line notice listed the men who would make up the executive officers, including C. C. Baer who served as the first President of the Oxford Rotary Club. A couple of weeks later, on April 13th 100 Rotarians from the states of Maryland, Delaware, New Jersey, and Pennsylvania filled the east dining room at the Oxford Hotel for the
Charter Night of the Oxford Rotary Club #2308. The evening was filled with speeches, songs, and a delicious meal of “roast Chester County turkey.” At each place-setting was a small box of caramels from the Oxford Caramel Factory. The boxes were lettered in gold, compliments of Oxford Rotary. The West Chester Rotary club surprised the Oxford club with the presentation of a Rotary banner. The inaugural Oxford Rotary Club was comprised of
17 members, and they met weekly for lunch at noon at the Oxford Hotel. In 1926, Rotary International was still a relatively young organization, having been started in 1905 in Chicago, IL by attorney Paul Harris. Mr. Harris’ goal for Rotary was to create a club where professional men from varied backgrounds could gather to exchange ideas and create lasting friendships. Although initially an organization only for men, the Rotary began admitting

Continued from Page 63
women in the 1980s. As time went on, the vision of Rotary International grew to encompass humanitarian services as well. Currently Rotary International counts among its causes ending polio, promoting peace, and providing clean water. At present Rotary International has 1.2 million members in 45,000 clubs worldwide.
In keeping with the mission of Rotary International, the Oxford Rotary Club has a strong history of participating in projects for the betterment of the Oxford Community. Over the past 100 years, the Rotary has sponsored several fundraising events, the proceeds of which benefit charitable and civic endeavors
of the local community. In the late 1940s and 1950s, the Oxford Rotary Club performed an annual Mirthquake Show. These musical comedy shows entertained audiences while providing money for efforts like the building of the Scout Cabin or the purchase of a new incubator at the West Grove Hospital. Oxford Rotary has participated in community events like parades, volunteered at First Fridays, and sponsored visits to Oxford from the circus.
In 1993, a group of Oxford Rotarians joined with the Upper Oxford Township Supervisors to establish a park in Lincoln Village. Bernard Park, located
Continued on Page 64



Continued from Page 63
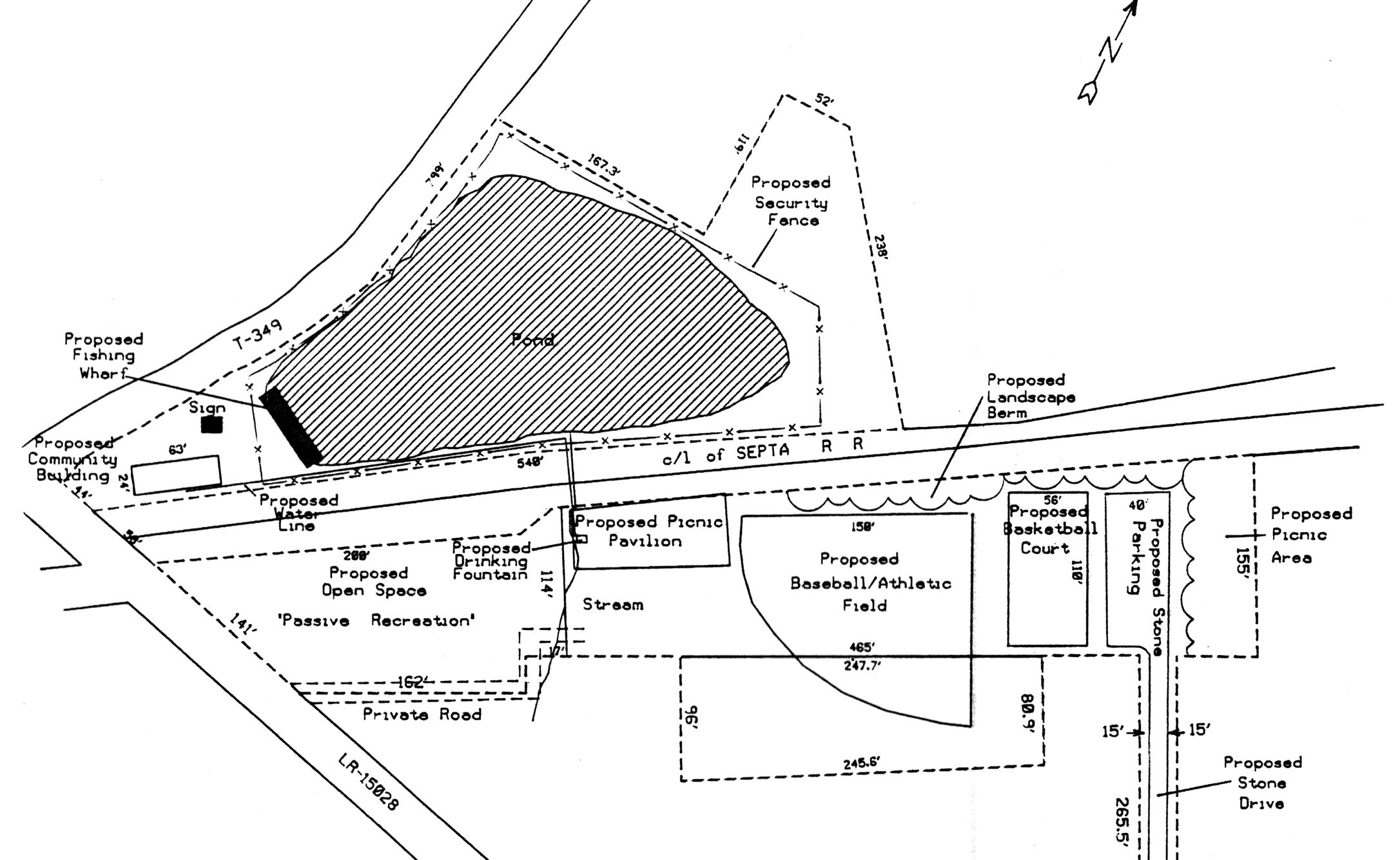
on Elkdale Road behind the Lincoln University campus, was created on 4 acres of land owned by Upper Oxford Township. The park had a basketball court, picnic areas, a fishing wharf on a pond in the park, and playground equipment. In addition to providing funding for the park, work on the park was done by several Rotarians who were joined by community members of Lincoln Village and Oxford Township Supervisors.
A more recent park project undertaken by the Oxford Rotary was the creation of an Inclusive Playground at the Oxford Memorial Park. The initial vision of this park belongs to Paul Matthews, then serving on Oxford Borough Council, but Oxford Rotary wholeheartedly embraced the vision. As Dr. Raymond Fischer, then president of the Oxford Rotary Foundation stated, “Inclusive playgrounds make a fundamental statement about how

a community values meaningful play experiences for children of all abilities.” After making the inclusive playground a special project, the Oxford Rotary formed The Oxford Rotary Foundation in order to raise funds and accept donations for the inclusive playground. The Foundation still serves as a grant making and charitable funding vehicle for the club. The play equipment was purchased, but like with Bernard Park, Rotary members and members of the community came together to install the playground. On September 30, 2017, the ribbon-cutting ceremony was held for the inclusive playground, making it the first of its kind in the area.
Also located in Oxford’s Memorial Park is the bilingual book walk, installed in 2023, which the Oxford Rotary assisted in funding. The book Circus ticket.
Continued on Page 66



Continued from Page 64
walk, sponsored by The Oxford Public Library, adapts a children’s picture book to be displayed across 16 panels. The story is told in both English and Spanish and fosters literacy.
In addition to supporting projects for the community as a whole, the Oxford Rotary has been a special supporter of the youth of Oxford. One of the earliest activities arranged by the Oxford Rotary for the young boys of Oxford was a trip to Philadelphia to watch the Philadelphia Athletics take on the Cleveland team on July 25, 1929. Rotarians with cars lined up at the Oxford High School. Local boys were loaded into the cars and they caravaned to Philadelphia. Each car carried a placard with Oxford Rotary Club written on it. The group was escorted from Oxford to the Philadelphia line by the PA State




Police. At the Philadelphia city limits the Philadelphia Police took over and led the caravan into Shibe Park. At the Park, the group were guests of Connie Mack, longtime manager of the Philadelphia Athletics. The Oxford Rotary has also supported the Boy Scouts by providing funds to build the Scout cabin and by being a long-time sponsor of Boy Scout Troop 13.
In keeping with Rotary International’s mission of promoting peace, the Oxford Rotary has sponsored several Oxford high school students to participate in the Rotary Youth Exchange which seeks to “build peace one young person at a time”. This program pays for a student between the ages of 15-19 to travel abroad for a year. Their room and board and any school fees are covered and Rotary works to find placement for the students with a host family. Students also travel from foreign countries to spend a year in the United States. Over the years
Oxford Rotary has placed several foreign exchange students with families in the Oxford area.
Another long-time program of the Oxford Rotary is the recognition of OAHS Students of the Month. This program recognizes OAHS seniors who show outstanding hard work and dedication towards their schoolwork, sports, and extracurricular activities. As part of the recognition, these students and their families are invited to join members of the Rotary at a monthly lunch meeting where they are recognized and invited to share information about themselves.
Rotary International also strives to help foster the next generation of leaders. To that end, the organization has created youth clubs. The goal of these clubs is to help young leaders develop their leadership skills, expand their education, and learn the value of service. Rotaract, for youth 18 and older, was created in 1968 and brought
to Lincoln University by Oxford Rotary in 1973. InterAct is the Rotary youth program for students between the ages of 12-18. The OAHS InterAct club held its inaugural induction ceremony in the spring of 2014. Finally, EarlyAct is a youth club for students aged 5-13. Oxford Area School District offers students participation in EarlyAct in the Hopewell Elementary School which began in 2015. Although the Rotaract club is no longer active at Lincoln University, both the InterAct and EarlyAct clubs are acitve. Over the years just some of the InterAct club projects have been to collect and assemble toiletry kit for the homeless and veterans living in shelters, sell and help plant 500 trees natvie to PA through the Tree-Plensih program, and to continue to assist with Project Cure which delivers medical supplies and equipment to developing countries among other activities. The EarlyAct
Continued

Continued from Page 67
club regularly sponsors food drives to benefit Oxford Neighborhood Services and other local organizations which help Oxford’s food insecure households.
For the past several months OAHA has had an exhibit up at the History Center entitled Working Together to Build a Better Community in which we highlighted service and civic organizations, past and present, that have worked to make the greater Oxford area a better place live. The Oxford Rotary definitely has a place in that exhibit for both its past and present contributions. The Oxford Area Historical Association would like to congratulate Oxford Rotary for reaching their 100th anniversary milestone and to thank them for the past 100 years of making Oxford a better place to live. We look forward to seeing what they accomplish in their next 100 years!
If you would like to learn more about the Rotary, join them at one of their lunch meetings on the 1st and 3rd Wednesdays from 12-1pm in the private dining room in the Vista Ridge Pavilion at Ware Village. You can also email them for more information at rotaryofoxford@gmail.com.






As Presence Bank transitions to Wayne Bank in April, the Oxford community will see a familiar commitment to local relationships paired with expanded resources and opportunity. For decades, both institutions have shared a belief that community banking is about more than transactions, it is about showing up, supporting local organizations, and helping neighbors and businesses thrive. That shared philosophy makes this transition a natural fit for Oxford.
Wayne Bank, recently named one of Newsweek’s America’s Best Regional
Banks & Credit Unions 2026, has built its reputation on strengthening the communities it serves by investing in people, businesses, and local initiatives. Oxford is known for wrapping its arms around new businesses, celebrating entrepreneurship, and supporting one another through every season. That spirit aligns perfectly with Wayne Bank’s approach: relationship-based banking that focuses on listening first and building long-term partnerships.
As part of this transition, Wayne Bank is proud to introduce two experienced

commercial lenders who will serve the Oxford and greater Chester County market: Elli Stoltzfus and Jose M. Colon. Jose Colon will serve as Vice President and Commercial Team Leader. A longtime Chester County resident, Jose was born in Lares, Puerto Rico, and moved to the United States as a child. After earning his degree in Political Science and Public Administration from West Chester University, he built his career serving real estate investors, developers, and small businesses, with a particular focus on supporting the Hispanic

community. Deeply rooted in service, Jose has served on numerous nonprofit boards throughout Chester County, including PathStone/ABH, La Comunidad Hispana, the Kennett Area Senior Center, Kendall Crosslands Communities, the Southern Chester County Chamber of Commerce, and Longwood Rotary. He also served as an elected Borough Councilman in West Grove. Jose and his wife, Karin, live in West Chester with their three children.
Elli Stoltzfus joins the team as a Relationship Manager serving Lancaster and Chester Counties. A Lancaster County native, Elli brings a strong foundation in finance and entrepreneurship, holding dual degrees in both from Liberty University. She partners with small and mid-sized
business owners, investors, and nonprofit organizations to provide customized lending solutions that support sustainable growth and longterm impact. Known for her thoughtful, relationship-first approach, Elli takes pride in serving as a trusted advisor to her clients. Outside of work, she is active in her church community, serves as Treasurer and Marketing lead for The Collective Young Adults in Gap, and is an avid runner who has completed two marathons.
Together, Jose and Elli reflect the values that define Wayne Bank: local expertise, community involvement, and a genuine commitment to helping businesses succeed. As Wayne Bank officially welcomes Presence Bank customers this spring, the focus remains clear

— building strong relationships and investing in Oxford’s future for years to come.
Wayne Bank is a subsidiary of Norwood Financial Corp., Member FDIC, and is located in Honesdale, Pennsylvania. The Bank has 33 Community Offices serving Wayne, Pike, Monroe, Lackawanna, Luzerne, Chester, Cumberland, and Lancaster Counties in Pennsylvania, along with Delaware, Sullivan, Otsego, Ontario, and Yates Counties in New York. The stock trades on the NASDAQ Global Market under the symbol – NWFL.

By HaLeigh Abbott
Contributing Writer
Laughter, joking, teasing, and boxing gloves might not be the first thing that comes to mind when Parkinson’s Disease is mentioned, but that’s exactly what is found in the Fighting Back classes at Rock Steady Boxing Cornerstone in Hockessin, Delaware.
Located inside Cornerstone Martial Arts, Katie Minnis has been running the specialized program for Parkinson’s-affected athletes since 2019. Together with two volunteers, each class provides cognitive and physical stimulation, which has been shown to improve the symptoms of patients in ongoing research. Katie was inspired to become a certified
coach for the program after becoming close with her Oxford neighbors, Wendell and Chris Higgins. “Wendell had Parkinson’s disease. He was just the sweetest, kindest man—quiet but super witty (a lot like my husband, Tim). I saw how daunting the daily fight with Parkinson’s was for them. When the
Continued on Page 74


in over 800 locations in every state and 14 countries worldwide.
Continued from Page 72 opportunity arose for me to help people like him, I just had to jump on it. The Higgins family and friends were instrumental in helping us raise money to start the program. Unfortunately, we were never able to have Wendell be part of our program, but I think about him all of the time. He would’ve fit in well with this crazy, funny, sarcastic, loving crew so perfectly.”
And that description is accurate—the athletes in Katie’s class were anything but limited. After a warm-up filled with music and dancing, the smiles started growing as well as the energy. The group broke into smaller sets and cycled through four stations where they worked on physical fitness, balance, cognitive training, and above all else, community. “I usually prefer to exercise alone, but more and more I wanted to try something different,” explained Randy Broadbent, a program member for 8 months and counting. “It’s just like Cheers, everybody knows your name! And they genuinely care about one another.”
Continued on Page 76









Continued from Page 74
Randy explained that “If you’ve met one person with Parkinson’s, you’ve met one person with Parkinson’s,” meaning that every person has a different set of symptoms and treatments that work. Balance issues, tremors, rigidity, and even loss of smell are all included in possible symptoms, but they are not consistent across all patients. “You realize we’re all in the same boat—some are better, some are worse, but it’s not as depressing as when I first found out I had it because we have each other,” explained another participant, Marty Rabeno.”
Research shows that people with Parkinson’s who use intensive exercise can slow the progression or alleviate symptoms to where they can lower medicine dosage or come off medicine completely,” explained Katie. Unlike when Parkinson’s Disease was first being researched and patients were told to go home and rest, now the opposite findings are true where it’s suggested to move and increase heart rate every day. A number of the athletes
Continued on Page 78







A R B O R D A Y A T G L E N R O Y
J o i n O A H A a t G l e n R o y P r e s e r v e a s w e p l a n t a
r o w o f t r e e s t o h o n o r t h e 2 5 0 a n n i v e r s a r y o f t h e
s i g n i n g o f t h e D e c l a r a t i o n o f I n d e p e n d e n c e t h
K E N B U R N S S C R E E N I N G
T o e x p l o r e t h e s t o r y o f o u r n a t i o n ’ s f o u n d i n g , j o i n u s a t H e r r ’ s V i s i t o r C e n t e r f o r a s c r e e n i n g o f K e n
B u r n s ’ d o c u m e n t a r y T h e A m e r i c a n R e v o l u t i o n .
C R O S S R O A D S M U S I C F E S T I V A L 03 03

O X F O R D 2 5 0 C O M M U N I T Y D A Y
T o m a r k o u r n a t i o n ’ s 2 5 0 t h a n n i v e r s a r y , g a t h e r w i t h u s f o r a c o m m u n i t y d a y a t
Continued from Page 76
explained that they didn’t even realize they had Parkinson’s until they began slowing down in older age, and that’s
when symptoms started to show. Loss of smell for one, tremors for another—but participating in the twice-weekly classes

with Katie has helped manage many symptoms.”




Continued on Page 80 At Vixen Hall Kennels we pride ourselves on providing each pet with a comfortable, relaxed grooming experience. Nanci specializes in a variety of breed specific cuts as well as creating adorable “mutt cuts” for mixed breeds ensuring that we can provide our clients with all of their grooming needs. Nanci also can groom your cat! Grooming by appointment only Tuesday through Saturday. All pets must be up to date on their rabies vaccination. Call to schedule your overnight boarding stay, doggie
or grooming appointment today! Spotsarelimitedandfillupquickly!
Hall Kennels
Owners,
and


Continued from Page 78
We box every day because it’s really good for you, but also they have an incurable disease and sometimes you just need to punch something every now and then,” joked Katie. Punching, kicking, sit-to-stands, and balance courses are staples in the classes where Katie and her two volunteers ensure everyone is safe and working hard. The camaraderie is apparent as athletes partner up and encourage each other, or gang up on Katie to tease her for her music choice. Katie is a professional, though, and gives it right back with a chorus of laughter throughout. Katie is well-rounded with her communication styles and surely dodges teasing from all ages, as she is also a substitute teacher for the Oxford Area School District.
The workout is great, but the community is what keeps these participants coming back twice a week, every week. They are each other’s best supporters and
Continued on Page 82




Continued from Page 80
share wins, losses, advice, and medical references, often finding solutions through each other they couldn’t find elsewhere. The group just celebrated their 7-year

anniversary and with an almost full roster, would love to see the program grow in the area to offer more opportunities to others living with Parkinson’s.
To learn more about the program, visit https://cornerstonehockessin.com/ or stop in at Cornerstone Martial Arts for more information.

The work out is great, but it’s the sense of community is what keeps participants coming back.



By Pauline Garcia-Allen Borough Manager
Managing municipal parking effectively is important because it directly impacts traffic flow, local business vitality, and public safety. When parking is poorly managed, drivers circle blocks searching for spaces, increasing congestion, fuel consumption, and emissions. Nobody likes to pay to park, but paid parking is an important aspect of managing parking effectively. Welldesigned, paid parking systems encourage turnover so more customers can access shops and services, supporting our local economy. Effective enforcement also ensures fairness, preventing long-term occupation of high-demand spaces – like the on-street parking on Market and Third Streets. Parking fees provide the Borough with the steady revenue needed to main-
tain parking facilities and to reinvest into parking infrastructure over time. Parking is never truly free. There is a cost to provide the service.
Overall, good parking management helps create more accessible, efficient, and livable downtown environments. This is what we aim to do in the Borough through a phased series of improvements to how we manage parking. In March we gated the garage. No more waiting in lines at a kiosk after you park, when you may be trying to meet friends or get to an event. You can scan and pay on your phone or pay at the gate when you leave. To function properly, paid parking in the garage is now 24 hours a day, but over time the improved system will open up new opportunities to offer free or


reduced-fee parking. Enforcement hours for Borough lots and meters will remain the same (8:00 am to 8:00 pm Monday through Saturday). However, beginning May 1st, we will begin to enforce the two-hour time limit for on-street meter parking. This helps ensure downtown businesses get needed turnover of parking right in front of their businesses. Questions? To find out more, visit Oxfordboro.org/Parking

Oxford Library’s Summer Reading theme for 2026 is “Unearth a Story,” and we can’t wait to see what we discover. Let us play a part in helping your children continue to read and learn throughout the summer, all while having fun! We have a summer full of free events and activities specifically made to keep kids of all ages engaged and learning
It all starts on June 13 for our 2026 Summer Reading Program Kickoff Party, with a magic show


Steven Hoffman
Richard L. Gaw
Tricia Hoadley
Sherry Hutchinson
Alan E. Turns
Teri Turns
Helen E. Warren
EDITOR
STAFF WRITER
ART DIRECTOR
GRAPHIC DESIGNER
ADVERTISING DIRECTOR
ADVERTISING EXECUTIVE
ADVERTISING EXECUTIVE
When many people think of Oxford Mainstreet, they think of First Fridays. These flagship events are lively evenings filled with music, shopping, food, and connection. Proudly hosted by Oxford Mainstreet, Inc. (OMI) for well over a decade, these events showcase what is possible when businesses, volunteers, and community partners work together to bring community together. But they are just one part of a much larger effort.
Founded in 1999, OMI is a local nonprofit dedicated to strengthening Oxford’s downtown and Business Improvement District. For more than 25 years, OMI has collaborated with business owners, property owners, the Borough, and residents to serve as a catalyst for economic growth and longterm stability. Progress downtown has always been rooted in partnership. Many of the features people enjoy every day reflect that shared investment. The black planters lining the streets are part of an ongoing beautification program that enhances the downtown experience. OMI also administers façade improvement grants, helping merchants reinvest in their buildings and strengthen the overall streetscape. Businesses such as The Sawmill Grill and Outback Company Store are among those that have improved their storefronts through this program in 2025, benefiting both the individual businesses and the broader community.
OMI also helped launch the revitalization of the historic Oxford Theatre, now The Pearl. What began as an OMI-led initiative has grown into an independent non-profit advancing plans for a brand-new theatre in the heart of downtown.
Today, OMI is finalizing a fiveyear strategic plan to guide future investments and partnerships, ensuring

Tammy Liberato, Mainstreet Manager and Leslie Sleesman, Executive Director
downtown Oxford continues to thrive. Visit our website, OxfordMainstreet.com
to follow our events and revitalization efforts.


Accounting / Financial
Chesco Business
Advisors, LLC
610-322-2424
ChescoBusiness.com
Cyron and Company
484-770-8796
CyronCPA.com
Fenstermacher and Company, LLP
610-444-1215
FandCo.com
Mahala Bookkeeping, LLC
484-502-4974
MahalaBookkeeping.com
See ad pg. 75
Paisley Accounting and Computer Solutions 610-444-2597
PaisleySolutions.com
Susan J. Martorano LLC
484-354-4581
See ad pg. 24
TBRE Consulting Company 484-365-5570
TBREConsulting.com
Woolard, Krajnik, Masciangelo, LLP
610-932-4225
WKCO.com
Advertising / Newspaper/ Printing
Ad Pro, Inc./ Chester County Press
610-869-5553
ChesterCounty.com
See ad pg. 85
DMD Business Forms and Printing Co, Inc
302-998-8200
Kennett Copy and More 484-732-8066
KennettCopy.com
inkspotts creative
410-441-4829
inkspotts.com
Welcome Neighbor 610-742-9341
WelcomeNeighborPA.com
Yo Sign Guy
610-329-4451
See ad pg. 43
Agriculture
Hostetter Grain, Inc.
610-932-4484
HostetterGrain.com
See ad pg. 63
Moore Meats 302-463-2721
MooreMeats.com
Mt. Olivet Farms 484-614-5203
Appliance Repair/ Sales
Martin Appliance 717-786-7373
MartinsAppliance.com
Architecture / Engineering/ Land Planning
Government Specialists, Inc.
610-932-5563
Nowland Associates
302-731-1333
NowlandAssociates.com
See ad pg. 41
Ragan Engineering Associates, Inc. 610-255-3400
Artist/ Art Gallery / Art & Music Instruction/
Oxford Arts Alliance
610-467-0301
OxfordArt.org
Spotted Lillies Studio SpottedLillies.com
Automotive
Collision Zone, Inc.
610-932-8330
CollisionZoneInc.com
See ad pg. 16
Country Chrysler Dodge - Jeep 610-932-0500
CountryDodge.com
Dumas Sapp & Son
610-932-8564
SappQualityCars.com
See ad pg. 22
Jeff D’Ambrosio Chevrolet 610-932-9090
JeffsChevy.com
Jeff D’Ambrosio of Oxford Mitsubishi 610-932-0500
Mitsubishiofoxford.com
Jennings Auto Repair, Inc. 610-932-3288
Jennings-Auto.com
McComsey Automotive LLC (610) 467-1330 facebook.com/McComseyAutomotive
See ad pg. 22
Oxford Automotive 610-467-0076
OxfordAutomotivePA.com
Valleybrook RV Body and Paint 610-908-7124
ValleybrookRV.com
Banking/ Financial Institutions/Mortgages
Citadel Credit Union 610-466-6608
CitadelBanking.com
CrossCountry MortgageNicolas Sandoval 561-302-5982
CrosscountryMortgage.com/ Nick-Sandoval
CrossCountry MortgageLisa Porter 610-745-9621
CrossCountryMortgage.com/ Lisa-Porter
Delaware Valley Mortgage 610-932-5446 DelValMort.com
Fulton Bank, N.A. 610-932-2100
FultonBank.com
Sun East Federal Credit Union 610-485-2960 SunEast.org Truist 610-998-1540 Truist.com Univest 717-806-8984 Univest.net
Wayne Bank 610-932-7756
WayneBank.com WSFS Bank 302-571-6839 WSFSBank.com
Caterer The Cheese Chick facebook.com/TheCheeseChick Johnson’s Charcuterie Artistry 484-667-6931
JohnsonsCharcuterieArtistry. com
T&M Catering 443-553-3124
TMCaters.com
Chiropractic
Chiropractic Services 610-932-9061
ChiropracticServicespa.com See ad pg. 15 Fitchett Chiropractic 610-869-3222
FitchettChiropractic.com Hometown Health 610-467-1141
HometownHealthOxford.com
Churches
Oxford Church of the Nazarene 610-932-2584
OxfordNazarene.com
Oxford Presbyterian Church 610-932-9640
OxfordPresbyterian.org Oxford United Methodist Church 610-932-9698
St. Christopher’s Episcopal Church 610-932-8134
StChrisOxford.org
Cleaning Services/ Restoration
A Helping Hand 484-756-1674
Cleaning4me.com
Bob’s Window and Cleaning Service
610-932-4418
Crystal Clean Canz 724-366-2998
CrystalCleanCanz.com
Oxford Cleaners 610-620-5499
OxfordCleanersUSA.com
Continued on next page
Continued from previous page
SERVPRO of
Kennett Square/Oxford
484-576-7015
SERVProKennettSquareOxford. com
Wash360
610-842-2104
Wash360.net
Computers / Consulting
digiTEK Computer Services
610-467-1200
DigitekComputerServices.com
Lemmtec
931-224-8502
Lemmtec.com
Consulting
Hero’s Quest Consulting
610-908-6264
HerosQuestConsulting.com
Zen Business
844-493-6249
ZenBusiness.com
Construction / Contractors/ Home Repair
A2 Design Solutions (484) 928-0099
www.a2designsolutions.com
See ad pg. 29
All American
Overhead Door Inc. 610-932-4999
AllAmericanOverheadDoor. com
See ad pg. 95
Cedar Knoll Builders 610-932-5719
CedarKnollBuilders.com
See ad pg. 5
Cooper Hawk Construction 484-639-3987
CooperHawkConstruction.com
Crockett & Sons Concrete, Inc 410-378-9890
CrockettandSonsConcrete.com
Custom Patios, LLC
484-804-3818
CustomPatiosLLC..com
DiPilla Brothers, Inc. 610-932-2630
DiPillaBros.com
Harbor Stone Construction Co 610-467-0872
HarborStoneCC.com
See ad pg. 26
Heritage Post Frame 717-475-5357
HeritagePostFrame.com
Homestead Carpentry Services LLC 484-502-4319
HomesteadCarpentryServices. com
Iron Ridge Contracting 484-732-8175
IronRidgeDecks.com
JFR Contracting 610-255-1471
JFRContracting.com
See ad pg. 45
Nowland Associates
302-731-1333
NowlandAssociates.com
See ad pg. 41
Counseling
Gracefield Counseling 267-772-0148
GracefieldCounseling.com
See ad pg. 63
LCH Health & Community Services 610-444-7550
lchcommunityhealth.org
New London Counseling Center 484-746-3112
NewLondonCounselingCenter. com
See ad pg. 66
Dental / Orthodontics
McCormick Orthodontics
610-932-2917
McCormickOrthodontics.com
Oxford Dental Associates 610-932-3388
OxfordSmiles.com
Copper Bonnet Distillery 717-992-7153
CopperBonnetDistillery.com
Education
Alma Y Lengua Bilingual Learning Center 856-344-3497
See ad pg. 15
Barnsley Academy 610-932-5900
BarnsleyAcademy.com
See ad pg. 37
Bethany Christian School 610-998-0877
BethanyChristian.org
Cecil College 410- 287-1000
Cecil.edu
See ad pg. 31
Lincoln University 484-365-7391
Lincoln.edu
Oxford Area School District 610-932-6600
Oxfordasd.org
Oxford Educational Foundation 610-932-7200
OxfordEducationalFoundation. org
See ad pg. 64
Oxford Library Company 610-932-9625
OxfordPublicLibrary.org
Technical College High School 610-345-1800
TCHSPennocks.org
Write-Well Handwriting Clinics & Occupational Therapy Services 610-932-9511
Write-WellHandwritingClinics. com
Electric
Baer Electric LLC 610-932-6302
Baer-Electric.com
See ad pg. 47
BobKat Electric 484-627-2821
Cameron’s Plumbing, Heating, Cooling & Electric 610-932-2416
CameronsHardware.com
See ads pgs. 12 & 13
Viking Power Products 610-255-3332
VikingPowerProducts.com
Emergency Services
Southern Chester County EMS, Inc. 610-910-3180
SCCEMS.org
Union Fire Company #1 610-932-2411
UnionFire.com
Financial Advisors
Chuck Weed State Farm Insurance 610-932-2400
Here4YourFinancialFuture. com
See ad pg. 56
Edward Jones Investments 610-998-9046
EdwardJones.com
See ad pg. 24
Edward Jones – Joe Oliver 484-702-9311
EdwardJones.com/Joe-Oliver
See ad pg. 11
PRIMERICA – Charlie Delp 610-388-2573
Primerica.com
Florist
Philips Florist 610-932-8187
PhilipsFloristInc.com
Funeral Home
Edward Collins Funeral Home, Inc. 610-932-9584
ElCollinsFuneralHome.com
See ad pg. 38
Grieco Funeral Home & Crematory, Inc. 484-734-8100
GriecoFunerals.com
Furniture/Reclaimed
Architectural
Furniture From the Barn 610-932-1122
FurnitureFromTheBarn.com
The Barnyard Boys 717-548-5000
BarnyardBoys.com
Martin Furniture and Mattresses
717-786-7373
MartinFurniturePa.com
Robinson’s Furniture 610-932-3600
RobinsonsFurniturePA.com
Golf Course
Tanglewood Manor Golf Club 717-786-2500
TWGolf.com
Wyncote Golf Club 610-932-8900
Wyncote.com
Government
Borough of Oxford 610-932-2500
OxfordBoro.org
East Nottingham Township 610-932-8494
EastNottingham.org
Penn Township Municipal Government 610-869-9620
PennTownship.us
Senator Carolyn Comitta 610-692-2112
PASenatorComitta.com
Graphic Design
inkspotts creative
410-441-4829
inkspotts.com
Hair Salon/ Nail Salon/ Spa Services
Alluring Images Hair Studio 610-932-9308
AlluringImagesHairStudio.com
Araceli’s Hair Salon 717-344-9344
Color Cut and Curls Inc. 610-932-7834
ColorCutCurls.com
Judy Hastings Salon 610-932-9566
HastingsSalon.weebly.com
The Nail Station and Spa 610-467-1300
OxfordNailStation.com
Oxford Escapes Massage and Facial Spa
484- 243-0919
OxfordEscapes.glossgenius. com
Health
Brandywine River Valley Hospice
484-365-2091
lhcgroup.com/locations/brandywine-river-valley-hospice/ ChristianaCare 302-733-1000
ChristianaCare.org
CrossFit Thunder Hill 610-998-9348
CrossFitThunderHill.com
Gracefield Counseling 267-772-0148
GracefieldCounseling.com
See ad pg. 63
Inviting Wellness Center 484-614-1937
InvitingWellnessCenter.com
LCH Health & Community Services 610-444-7550
LCHStayHealthy.com
New London Counseling Center 484-746-3112
NewLondonCounselingCenter. com
See ad pg. 66
Rock Steady Boxing Cornerstone 302-307-2477
Cornerstone.rsbaffiliate.com
Visiting Angels Chadds Ford 484-770-8479
VisitingAngels.com/ChaddsFord
Write-Well Handwriting Clinics & Occupational Therapy Services 610-932-9511
Write-WellHandwritingClinics. com
The Yoga Cove TheYogaCove.com
Insurance
Anvil Land Transfer Company 610-444-6800
anvillandtransfer.com
Auto Tags Plus 610-932-4000 (Oxford) 610-345-5932 (West Grove) QuickAutoTagsPlus.com
Chuck Weed –State Farm Insurance 610-932-2400
Here4YourFinancialFuture. com
See ad pg. 56
Kimberley Vassal Coe & Weimer Insurance Services 610-932-9350
kvcwinsurance.com
See ad pg. 88
The Surance Group, Inc. 610-932-3360
SuranceGroup.net
Tiger Adjusters 610-818-1589
TigerAdjusters.com
AIA-Yerkes Insurance Agency 610-869-4065
AiA-Yerkes.com
Lawn/ Landscape/ Mulch/ Plants
A-1 Mulch 610- 932-7420
A1Mulch.com
See ads pgs. 8 & 9
Butler’s Home and Lawn 610-223-1198
facebook.com/butlershomeandlawn
Carter and Son Lawncare, Inc. 610-932-5703
See ad pg. 81
Cedarcrest Fertilizing 610-932-5818
CedarcrestFertilizing.com
Custom Patios, LLC 484-804-3818
CustomPatiosLLC.com
Howell’s Lawn & Landscape 610-842-1683
HowellsLawnandLandscape. com
Huf Landscaping 610-256-7638
HufLandscaping.com
Shelton Pallet Company 610-932-3182
SheltonsPallet.com
See ad back cover
The Scotts Company 610-932-4200
D’Amico Law, P.C. 610-444-4555
DamicoLawPC.com
See ad pg. 87
Eichman Law, PLLC 484-734-0378
EichmanLawGroup.com
Ira D. Binder, Attorney-at-Law 484-643-3325
Lamb McErlane PC 610-932-3550
LambMcErlane.com
See ad pg. 33
Perna & Abracht, LLC Law Offices 610-444-0933
PA4Law.com
See ad pg. 28
Manufacturer
Baltic Leisure Co., a division of Penn Sauna 610-932-5700
BalticLeisure.com
Flower Baking Company of Oxford 610-932-2300
FlowersFoods.com
Herr’s Food 610-932-6400
Herrs.com
See ad pg. 2
Jackson ImmunoResearch Labs 800-367-5296
Jacksonimmuno.com Mitchell Mechanical 610-932-5002
M2Welding.com
Outback Trading Company 610-932-5141
OutbackTrading.com
Oxford Cabinetry, LLC 610-806-3460
OxfordCabinetry.com
See ad pg. 61
Shelton Pallet Company 610-932-3182
SheltonsPallet.com
See ad back cover
The Scotts Company 610-932-4200
Continued from previous page
Medical
ChristianaCare
302-733-1000
ChristianaCare.org
Core Family Practice
610-612-9283
CoreFamilyPractice.com
LCH Health and Community Services
610-444-7550
lchcommunityhealth.org
Moving Services/ Storage/ Hauling
A-1 Towing, Recovery, Trucking
610-979-8979
A-1TowingRecoveryandTrucking.com
A&M Friendly Movers 484-339-4207
AMFriendlyMovers.com
DEStorage.com New Garden 484-406-4100
DEStorage.com
See ad pg. 38
Oxford Mini Storage 610- 932-9111
OxfordMiniStorage.com
Route 10 Storage (610) 806-6619
TheRoute10Storage.com
See ad pg. 65
Black Rock Retreat
717-529-3232
BlackRockRetreat.com
Canine Partners for Life 610- 869-4902 k94life.org
Chester County Community Foundation 610-608-3605
ChescoCF.org
Christiana Care 302-733-1000
ChristianaCare.org
Eli Seth Matthews
Leukemia Foundation 610-945-4423
BraveEli.com
Family Promise of Southern Chester County 610-444-0400
FamilyPromiseSCC.org
Fraternal Order of Eagles 2666
610-932-9943
facebook/F.O.E2666
Good Neighbors Home Repair 717-870-5116
GoodNeighborsHomeRepair. org
Good Samaritan Services
484-739-7056
GoodSamServices.org
Housing Partnership of Chester County 610-518-1522
HousingPartnershipCC.com
Human Services, Inc. 610-200-6222
HumanServicesInc.org
Kennett Amateur Theatrical Society 302-540-9029
CallKATS.org
Lighthouse Youth Center 610-467-6000
OxfordLighthouse.org
Mad Madame’s Moxie Collective 717-799-6019 facebook.com 3MC
New London Counseling Center 484-746-3122
NewLondonCounselingCenter. com
See ad pg. 66
Oxford Area Civic Association 610-932-2619
OxfordAreaCivicAssociation. com
Oxford Area Foundation 610-932-4627
OxfordAreaFoundation.org
Oxford Area Historical Association 610-467-0339
OxfordHistorical.org
See ad pg. 77
Oxford Area Neighborhood Services 610-932-8557
OxfordNSC.org
Oxford Area Lions Club facebook.com/LionsOxfordPA
Oxford Area Recreation Authority OARAPark.org
Oxford Area Senior Center 610-932-5244
OxfordSeniors.org
Oxford Library Company 610-932-9625
OxfordPublicLibrary.org
Oxford Little League OxfordLL.org
Oxford Mainstreet Inc. 610-998-9494
OxfordMainstreet.com
Oxford Women’s Club facebook.com/OxfordWomensClub
Parent OCD Inc. 484-365-5570
Pennsylvania Small Enterprise Foundation 610-308-6941
PASmallEnterpriseFoundation. org
Rotary Club of Oxford 610-256-5794
Russellville Grange 484-467-2964
Street Lamp Community Theatre 410-658-5088
StreetLamp.org
The Oaks Ministry 484-368-7268
OxfordOaksMinistry.com
See ad pg. 57
The Weekly Fight 484-947-1084
TheWeeklyFight.org
United Way of Southern Chester County 610-444-4357
UnitedWaySCC.org
Warriors on the Water 717-314-2800
WarriorsOnTheWaterLtd.com
Woerth It Hollow 484-362-7116
WoerthItHollow.net
Optometrist
MillerEyecareOnline.com
DixieLandEnergy.com Keen Compressed Gas Co. 610-998-0200
KeenGas.com
See ad pg. 54
CertaPro.com/Western-Ches-
BishopSealcoating.com
E. Squires Paving 610-932-8810
SquiresPaving.com
See ad pg. 23
R.T. Price Excavation & Paving 484-614-4980
RTPricePaving.com
Photography
1865 studios
1865studios.com
See ad pg. 67
Abbott Imagery
facebook/AbbottImagery
See ad pg. 76
Mirror Me Productions 717-475-8585
MirrorMePro.com
Moonloop Photography LLC 484-748-0812
MoonloopPhoto.com Physical Therapy/ Occupational Therapy
Neff Physical Therapy 484-756-8603
NeffPT.com
See ad pg. 55
Write-Well Handwriting
Clinics & Occupational Therapy Services
610-932-9511
Write-WellHandwritingClinics. com
Plumbing / Heating / Cooling/ Fuel
Alger Oil and Propane Inc.
610-932-4104
AlgerEnergy.com
Cameron’s Plumbing, Heating & Cooling
610-932-2416
CameronsPHC.com
See ads pgs. 12 & 13
Chelsea Heating & Air 610-268-2200
ChelseaAir.com
D&D Golder
610-932-6305
DDGolder.com
Dixie Land Energy 888-517-3680
DixieLandEnergy.com
Leon C. Landis, Inc. 717-786-2188
LeonLandis.com
Mattioni Plumbing, Heating & Cooling
610-269-0884
CallMattioni.com
Oxford Plumbing & Heating, Inc.
610-932-9503
OPHinc.com
Retro Air
610-563-1288
CallRetroAir.com
See ad pg. 19
RJ Air Conditioning and Heating LLC
610-806-6081
RJAirHeat.com
S. Justice Plumbing 484-226-7696
Taylor Oil and Propane 610-444-3810
TaylorOilandPropane.com
Podcast
This Sober Vet Podcast
484-757-8505
ThisSoberVet.com
Preserve
Glenroy Preserve
610-932-4267
OxfordAreaFoundation.org
Real Estate
Beiler-Campbell Realtors 610-932-1000
Beiler-Campbell.com
Chris Anderson – Realty One 484-753-2692
ChristineAnderson.myrealtyonegroup.com
Joel Brown, Beiler - Campbell 610-932-2982
Beiler-Campbell.com
LGB Properties 610-925-3411
LGBProperties.com
Oxhaven Apartments 610-932-3700
OxHaven.com
The Sanders Team/LPT Realty 570-412-4405
TheSandersTeamRealty.com
Recreational
Black Rock Retreat 717-529-3232
BlackRockRetreat.com
Cold Spring Farm PA, LLC
610-324-3851
ColdSpringFarmHorse.com
See ad pg. 68
CrossFit Thunder Hill 302-584-4096
CrossfitThunderHill.com
Herr’s Snack Factory 610-932-6400
Herrs.com
See ad pg. 2
Jennersville YMCA
610-869-9622
YMCAgbw.org
Jim Neary’s
Live Bait and Tackle 717-529-2488
Jimsbait.net
Oxford Area
Recreation Authority 610-314-3783
OARAPark.org
Oxford Center for Dance 610-932-3267
OC4dance.com
See ad pg. 54
Oxford Diamond Divas 610-299-7037
OxfordDiamondDivas.com
Oxford Karate Institute 610-998-0044
OxfordKarateInstitute.com
See ad pg. 32
Oxford Little League OxfordLL.org
SharpShooters Grappling Club, LLC
SharpShootersGrappling.com
Southern Chester County Sports 484-467-6946
SouthernChesterCountySports. com
Timber Falls Mini Golf 484-702-1377
TimberFallsMiniGolf.com/
See ad pg. 66
Timber Wolfe Lanes 610-932-8850
TimberWolfeLanes.com
See ad pg. 66
Restaurant / Specialty Food and Beverages
22 BBQ Food Truck and Catering 484-883-0990
22-BBQ.com
See ad pg. 16
Bellybusters 610-932-5372
facebook.com/BellybustersSubs
See ad pg. 68
Creekside Coffee Roasting Company 610-952-8645
CreeksideCoffeeRoasting.com
Corner Café 610-869-5557
Facebook.com/Cornercafejennersville
Early Bird Café 610-467-0357
See ad pg. 95 Flowers Café 610-467-1007
facebook.com/FlowersCafe
Kimball Creation Co mycustombakes.com/KimballCreationCo
Kona Ice Elkton/Newark 410-920-9056
ILoveKonaIce.com
Kreider’s Market, Inc 717-529-6944
KreidersMarket.com
See ad pg. 75
La Sicilia Pizza Pasta Grille 610-998-9889
LaSiciliaPA.com
LC Farms LCFarmsPA.com
Neuchatel Swiss Chocolates 610-932-2706
NeuchatelChocolates.com
Nottingham Inn Kitchen and Creamery 610-932-2778
NottinghamInn.com
See ad pg. 2
PA Boys BBQ 610-470-3280
PABoysBBQ.com
Pat’s Select Pizza and Grill 610-998-9191
PatsSelect.com
Octoraro Hotel & Tavern 610-467-1939
facebook.com/TheOctoraroTavern Restaurant at Wyncote 610- 624-6802
Wyncote.com
Rise N Grind 410-658-0002
RiseNGrindCafe.com
Rita’s Water Ice of Oxford 610-932-2523
RitasFranchises.com/Oxford Saw Mill Grill 610-467-1909
facebook.com/SawMill-Grill
See ad pg. 7
Soda Jerk Ice Cream 410-205-6573
SodaJerkIC.com
Taqueria Los Jaurez 610-998-0522
TaqueriaLosJuarez.com
Teens Place 610-467-0049
TheTeensPlace.com
Continued from previous page
The Jawnery
610-620-4206
TheJawnery.com
Baltic Leisure
610-932-5700
BalticLeisure.com
BB’s Grocery Outlet
717-786-3210
BBsGrocery.com
Brandywine Ace Pet and Farm
610- 345-1145
AceHardware.com/store-details/15574
Cameron’s Hardware & Supply, Inc.
610-932-2416
CameronsHardware.com
See ads pgs. 12 & 13
Dubarry of Ireland
610-888-2583
Dubarry.com
See ad pg. 17
Fandemaus Games
484-756-5610
Fandemausgames.com
Honeysuckle Trail Country Crafts
610-932-7734
HoneysuckleTrail.com
Howetts Screen Printing and Embroidery 610-932-3697
Howetts.com
It’s SO Lola’s 610- 467-0774
facebook.com/ ItsSOLolas
Jennersville Pets and Friends 610-345-1145
facebook.com/JVPet
Keen Compressed Gas Company 610-998-0200
KeenGas.com
See ad pg. 54
Kennett Copy and More 484-732-8066
KennettCopy.com
Kreider’s Market 717-529-6944
KreidersMarket.com
See ad pg. 75
Landhope Farms
610-467-0378
Landhope.com
Lola’s 610-467-0774
Lolason3rd.com
See ad pg. 4
Martin Appliance 717-786-7373
MartinsAppliance.com
Martins Flooring 610-932-8724
MartinsFlooring.com
See ad pg. 50
Martin Furniture 717-786-7373
MartinFurniturePA.com
Outback Company Store 610-467-1500
OutbackTrading.com
Oxford Feed and Lumber 610-932-8521
OxfordFeedLumber.com
See ad pg. 36
Robinson’s Furniture 610-932-3600
RobinsonsFurniturePA.com
S&L Fine Cigars and Tobacco 610-467-0700
SLFineCigarsPA.com
See ad pg. 80
Spartan Fireworks 610-637-1003
Spartan-Fireworks.com
See ad pg. 25
The Maroon Hornet Comics and Collectibles 60-745-7640
maroon-hornet.myshopify.com
Retirement Community
Ware Presbyterian Village 610-998-2400
WarePresbyterian.org
Service
Armstrong 443-907-6678
ArmstrongOneWire.com
See ad pg. 79 Auto Tags Plus 610-932-4000 (Oxford) 610-345-5932 (West Grove) QuickAutoTagsPlus.com
Brandywine Septic Services, Inc. 610-869-0443
BrandywineSeptic.com
See ad pg. 3
Brock’s Fire Protection & Supply Inc 610-299-3131
BrocksFire.com
Comcast 800-266-2278
Comcast.com
Combat Elevator 844-266-2281
CombatElevatorInc.com
Hero’s Quest Consulting 443-908-6264
HerosQuestConsulting.com
Howett’s Screen Printing and Embroidery 610-932-3697 Howetts.com
Jennings Dumpster Rental, LLC 610-467-1993
JenningsDumpsterRental.com
Lloyd Shetron Termite and Pest Control 610-470-7287
LSPestControl.com
Martin Water Conditioning 717-786-7373
MartinWater.com
Mitchell Mechanical 610-932-5002
M2Welding.com
Oxford Area Sewer Authority 610-932-3493
OxfordSewer.org
Oxford Cleaners 610-932-9666
OxfordCleanersUSA.com
PennWelding Corporation 410-688-5540
PennWelding.com
Valleybrook RV Body & Paint 610-908-7124
Valleybrook-RV.com
Wash360 610-842-2104 Wash360.net
Theater Kennett Amateur Theatrical Society, Inc. CallKATS.org
Street Lamp Community Theatre 410-658-5088
StreetLampProductions.org
The Pearl 484-222-8742
ThePearlOxford.org
Transportation
DuVall Bus Service LLC 610-869-2881
DuVallBusService.com
See ads pgs. 48 & 49
Oxford Transportation 610-932-2031
OxfordTransportationInc.com
Travel
Gotta Skedaddle Travel 484-909-0706
GottaSkedaddleTravel.com
Veterinary/Pet Boarding and Grooming/Obedience Training
Elk Creek Veterinary Services 610-467-1488
ElkCreekVeterinaryServices. com
See ad pg. 39
Oxford Veterinary Hospital 610-932-8757
OxfordVeterinaryHospital.com
Vixen Hall Kennels 610-932-6980
VixenHallKennels.com
See ad pg. 78
Unionville Equine Associates PC 610932-6800
UEAVet.com
Winery/ Venues
Britain Hill Venue and Vineyard 717-799-7277
BritainHillVenueandVineyard. com
The Barn of Nottingham 484-832-9030
BarnofNottingham.com
See ad pg. 40

