Skip to main content

Diario 24 Horas Puebla 12/10/2022

Page 1

PRESUME BÚFALO ESTABILIDAD ADMINISTRATIVA EN LA FRANJA Rescata identidad afición al Puebla Diario24HorasPuebla24HorasPuebla WWW.24horaspuebla.com/

EFECTOS

Rescata identidad afición al Puebla

Previo al arranque de la quinta liguilla consecutiva para el Puebla de la Franja, Carlos Búfalo Poblete reveló a 24 Horas Puebla los secretos del nuevo rostro del equipo de casa. El histórico delantero enfranjado, en su papel de director deportivo, aseguró que la apuesta por el joven Nicolás Larcamón, la búsqueda de jugadores en Liga Expansión, las adquisidores de la plantilla y la cercanía con el cuerpo técnico dan esperanzas en el triunfo.

la enti

DESAHOGAN DUDAS

EJEMPLAR GRATUITO 24HorasPueblaDiario24HorasPueblaWWW.24horaspuebla.com/ Nº 1692 I PUEBLA MIÉRCOLES 12 DE OCTUBRE DE 2022 Con este código QR entras en contacto con nosotros. O envía “Suscríbeme” al 2228678674 y recibe 24 HORAS en tu celular. En esta contingencia mantente informado La de espacios publicitarios tendrá una duración de 3.5 años; la del relleno sanitario por cinco años; y para el servicio de recolección y traslado de desechos sólidos será por siete años. METRÓPOLI P. 5
Y SE AVALAN LAS CONCESIONES PARA EL AYUNTAMIENTO Mientras en
dad sigue predomi nando el ambiente frío, un nuevo even to meteorológico surgido en el Golfo afectará al territorio con fuertes lluvias, entre el jueves y viernes. ESTATAL P. 8 Alerta Segob ante impacto de la tormenta tropical Karlen Puebla Apoya Martes Ciudadano a sectores vulnerables: MBH La referencia a esta planta originaria de Centroamérica y el sur de México, rica en minerales, hierro, calcio y magnesio, tiene que ver con la solicitud de Armenta, el pasado 7 de septiembre, al secretario de Gobernación, Adán Augusto López Hernández, en su visita al Senado de la República a una semana de haber instalado el periodo ordinario. FERNANDO MALDONADO P. 3HOY ESCRIBEN Carlos Miguel Ramos P. 5 Luis Palacios P. 8 José Ureña P. 10 Pancho Graue P. 11 Alfredo Huerta P.13 Ana María Alvarado P. 14 ESPECIAL El gobernador Miguel Barbosa ratificó su apoyo a la educación con el envío de aulas móviles para una escuela y entregó sillas de ruedas durante la jornada desarrollada en Casa Aguayo. POLÍTICA P. 3 ENTORNO. El Estadio Cuauhtémoc volverá esta noche a vestirse de gala para recibir el encuentro por el pase a los Cuar tos de Final entre el Puebla de la Franja y las Águilas del América. Los boletos para el juego se esfumaron ESTATAL P.7 PRESUME BÚFALO ESTABILIDAD ADMINISTRATIVA EN LA FRANJA
ESTATAL P. 7 ENFOQUE PARABOLICA.MX MANTENEMOS EL SEMÁFORO # QuédateEnCas a
Un desgajamiento en el bulevar Vicente Suárez, provocado el río Alseseca, generó caos vial en la capital. P. 5 ENFOQUE ROJO Saldo de un muerto y un lesionado dejó una balacera en la junta auxiliar San Matías Cocoyotla, en San Pedro Cholula. PAG 5 VERDE EL CLIMA MIÉRCOLES 12 DE OCTUBRE Lluvias moderadas 230C 130C

¿SERÁ?

Ese apoyo sí se ve…

El edil de Acatlán de Osorio, Arturo Cajica Gómez, volvió a ser encarcelado tras una larga audiencia de siete horas en Casa de Justicia de Izúcar de Matamoros, en el proceso penal que se le sigue por la emboscada y muerte de su director de Seguridad Pública, Héctor García, y de Guadalupe Campos, en abril de este año.

Al edil Cajica Campos lo postularon los partidos Acción Nacional y Revolución Democrática, que a diferencia de familiares y amigos que manifestaron su enojo a las afueras de Casa de Justicia en la mixteca, sus dirigencias se han quedado calladas.

Algo saben, porque los silencios en política también hablan.

¿Será?

El constructor… del lugar común

El dirigente de la Cámara Mexicana de la Industria de la Construcción, Héctor Sánchez Morales, hizo ver la pobreza argumentativa para justificar su salto de una dirigencia a otra, con su intención de competir por el liderazgo del Consejo Coordinador Empresarial, próximo a ser renovado.

Cuando se ha dicho que urge al sector empresarial organizado reconstruir puentes e interlocución con el gobierno del estado, quebrantado por varias razones, se limitó a justificar que urge trabajar para “todos los empresarios unidos en pro del estado”.

Sánchez Morales es como las concursantes de belleza que a la primera, argumentan la necesidad de buscar la paz mundial.

¿Será?

El deslinde

El presidente Andrés Manuel López Obrador volvió a desmarcar a su esposa, la escritora Beatriz Gutiérrez Müller, de cualquier aspiración política, sobre todo la de 2024, cuando entre otras gubernaturas será renovada la de Puebla.

El deslinde tiene particular significado para la clase política poblana por una corriente de opinión que veía en la académica de la Benemérita Universidad Autónoma de Puebla a una potencial competidora por Morena.

¿Será?

Libro, repartido como galletas…

Hubo poblanos que decidieron hacer su “guardadito” para poder comprar el libro de la autoría de Elena Chávez, que alimenta la diatriba opositora de Andrés Manuel López Obrador, se sabe.

¡Lástima…! “El Rey del Cash” fue enviado este martes de manera gratuita a través de cadenas de distribución de WhatsApp.

¿Será?

“A TORTURA”

Prohíbe Senado terapias de conversión sexual

Con 69 votos a favor, el Senado de la Re pública aprobó diversas reformas para prohibir en todo el país las denominadas “terapias de conversión”, que pretenden corregir la orientación sexual y la identi dad de género de las personas.

El dictamen, aprobado y enviado a la Cámara de Diputados para su discusión, prohíbe realizar, impartir, aplicar, obli gar o financiar tratamientos, terapias, o cualquier tipo de servicios o prácticas quirúrgicas o de otra índole con el obje to de obstaculizar, restringir, impedir, menoscabar, anular o suprimir la orien tación sexual, identidad o expresión de género de una persona.

De acuerdo con la senadora de Mo vimiento Ciudadano (MC), Patricia Mercado, la mecánica de los Esfuerzos para Corregir la Orientación Sexual y la Identidad de Género (Ecosig) es equipa rable a la tortura, “pues el fin último es la anulación de la personalidad mediante el sometimiento, la degradación o la crueldad y estas experiencias afectan la dignidad, la autoestima y la salud men tal de las personas que son sometidas, pues las quiebran llevándolas a una si tuación límite que en no pocas ocasiones termina en suicidio”.

De ahí que el propósito de las reformas sea disuadir a las familias, terapeutas, personal médico, ministros de culto, docentes y cualquier persona de la inten ción de inducir u obligar a otras personas a someterse a esas prácticas fraudulen tas y traumáticas.

El senador del PAN, José Alfredo Bo tello, argumentó su voto en contra del dictamen, al considerar que impide que los pedófilos sean atendidos por especia listas de la salud mental.

“Estoy en contra de este dictamen, ya que impide que todos los pedófilos y pe derastas del país puedan ser atendidos

por un especialista en la salud mental y afectiva, lo que incrementa el riesgo y la tasa de reincidencia en agravio de las po blaciones vulnerables que se integran de niñas, niños y adolescentes y no atiende el problema de fondo”, señaló.

De esa manera, el dictamen obtuvo dos votos en contra, de los panistas José Alfredo Botello y Víctor Fuentes, y 16 abstenciones, entre ellas, las del priis ta Eruviel Ávila, de los panistas Kenia López, Damián Zepeda, Lilly Téllez y Josefina Vázquez Mota, así como de la coordinadora del PES, Sasil de León, y la petista Martha Márquez. / KARINA AGUILAR

24 HORAS EL DIARIO SIN LÍMITES PUEBLA, Año IV, No. 769,periódico diario, septiembre de 2015. Editor Responsable: Edgar Nava . Número de Certificado de Reserva otorgado por el Instituto Nacional del Derecho de Autor: 04-2018-091909333800-101. Número de Certificado de Licitud de Título y Contenido: 17232. Domicilio de la Publicación: Calle 20 Oriente No. 1401 Colonia Barrio el Alto, Puebla, México. www. 24horaspuebla.com / youtube: Puebla 24horas / twitter: @24HorasPuebla / facebook: Diario24HorasPuebla EL DIARIO SIN LÍMITES PUEBLA COORDINADOR GENERAL JESÚS OLMOS COORDINADOR WEB CARLOS LINARES DISEÑO HORACIO MACIP, ANTONIO RAMOS REPORTEROS ÁLVARO RAMÍREZ, MIRIAM ESPINOZA, JOSÉL MOCTEZUMA EDICIÓN LIZ HERNÁNDEZ, DULCE FERNANDA TORRES DIRECTOR GENERAL EDGAR NAVA DIRECTOR EDITORIAL FERNANDO MALDONADO DIRECTORA COMERCIAL MARÍA ELENA MERCADO MIÉRCOLES 12 DE OCTUBRE DE 2022
EQUIPARABLE
Tormanta ‘Karl’ se forma en bahía de Campeche Condena ONU espionaje del Ejército mexicano
Suspende Oaxaca clases por ciclón ‘Julia’ ESCANEA EL CÓDIGO PARA VER EL VIDEO ESCANEA EL CÓDIGO PARA VER EL VIDEO ESCANEA EL CÓDIGO PARA VER EL VIDEO EN LA WEB Intensifica Rusia los ataques de Kiev ESCANEA EL CÓDIGO PARA VER EL VIDEO WWW.24HORASPUEBLA.COM/ WWW.24HORASPUEBLA.COM/ WWW.24HORASPUEBLA.COM/ WWW.24HORASPUEBLA.COM/
APROBACIÓN. Legisladores contra difusión, financiamiento, cirugías o servicios que menoscaben la identidad de género de las personas.
XOLO ♦ VOTACIÓN FINAL @SENADOMEXICANO

Atiende MBH petición sobre necesidades de vulnerables

Solicitudes. Una pareja de adultos mayores le externó tener dificultades para trabajar y poder solventar sus gastos

El gobernador Miguel Barbosa entregó una silla de ruedas y un bastón al matrimonio de Guillermina Hernández y Rafael Torres, lo anterior durante el “Martes Ciudadano” desarrollado en Casa Aguayo, en donde atendió de manera directa a las y los pobla nos que asistieron.

La salud y edad de estas personas les ha impedido trabajar y obtener un ingreso para solventar sus gastos, por lo que el go bierno estatal, a través del SEDIF, también les entregará despensas mensuales, lo que impactará directamente en su alimenta ción.

El matrimonio agradeció la atención recibida por el titular del Ejecutivo y, sobre todo, la respuesta inmediata y favorable que obtuvo en esta jornada de atención ciudadana.

El gobernador también ratificó su apoyo

Deben tipificar ataques ácidos contra mujeres

Diputados locales recibieron las peticiones de colectivos feministas que se pronuncia ron a favor de que se tipifique de forma precisa la violencia ácida y se castigue como in tento de feminicidio.

Lo anterior en el marco de su participación en el foro sobre violencia ácida, orga nizado por el diputado del priista, Néstor Camarillo, donde activistas poblanas señalaron que en la entidad hay siete casos de este tipo de agresiones.

El legislador subrayó el compromiso para impulsar el marco legal que permita imponer penas ejemplares a quienes cometan violencia ácida contra las mujeres, así como establecer los meca

nismos para la prevención y erradicación.

Al compartir sus experien cias, estos grupos de mujeres pidieron que haya mayor in volucramiento de las autori dades para investigar y san cionar este tipo de violencia.

Consideraron que se re quiere de un capítulo exclusi vo para castigar severamente estos ataques, pues las tres iniciativas en la materia que analiza actualmente el Con greso solo plantean que se agregue una agravante.

Se pronunciaron a favor de que las instituciones de salud pública atiendan este tipo de lesiones de manera gratuita, ya que hay casos en los que se requiere de cirugías recons tructivas. / MIRIAM ESPINOZA

Armenta, en veremos

ustedes?, en Tabasco ‘hay veda de chipilín’”.

La referencia a esta planta originaria de Centroamérica y el sur de México, rica en mi nerales, hierro, calcio y magnesio, tiene que ver con la solicitud de Armenta, el pasado 7 de septiembre, al secretario de Gobernación, Adán Augusto López Hernández, en su visita al Senado de la República a una semana de haber instalado el periodo ordinario.

con la educación de las y los niños pobla nos, al atender a la señora Hilda Ivonne Valentino Santos, quien solicitó aulas para la escuela primaria “Tierra y Liber tad”, en San Lorenzo Almecatla, Cuaut lancingo.

La madre de familia refirió que esta institución alberga a 584 alumnos, por lo que es necesario ampliarla. El goberna dor dio a conocer que le proporcionará aulas móviles, mientras el secretario de Educación, Melitón Lozano, revisa y le da seguimiento a su petición. / STAFF

Venimos a solicitar un bastón y una silla de ruedas y una despensa, mi esposo no puede caminar porque tiene lastimada la rodilla, lo atropellaron y le quedó mal la rodilla, y el brazo. Sí recibimos el apoyo".

GUILLERMINA HERNÁNDEZ

Piden no asustarse de los destapes políticos

El coordinador de los diputados priístas, Jorge Estefan Chidiac, pidió no espantarse por el posicionamiento electoral que dio el alcalde de Puebla, Eduardo Rivera, en su primer informe de labores.

Dijo que los destapes, a partir de ahora por parte de gobernantes, son una práctica co mún en este tipo de ejercicios de rendición de cuentas, aunque reconoció que el informe del panista generó una serie de especulaciones sobre su futuro político.

“No necesita Eduardo Rivera que lo desta pen como los aspirantes del PRI o Morena, no necesitan que los destapen porque ya están todos destapados, esto ya se volvió una chun ga”, afirmó.

Al ser Rivera Pérez alcalde por la alianza Va Por Puebla, dijo que por el momento no se puede afirmar que el panista sería el candidato a la gubernatura, porque no hay una certeza de la coalición.

Aseguró que es normal que los políticos profesionales y con carrera siempre aspiran a obtener un nuevo cargo de representación popular, aunque subrayó que son adelantados los destapes. /MIRIAM ESPINOZA

que el Ejército permanezca en las calles en ta reas de seguridad pública hasta 2028, de la que se habló en esa reunión en la primera semana del mes de septiembre.

El senador Alejandro Armenta está por conseguir con éxito la encomienda de la gestión de reconstruir el puente entre el presidente Andrés Manuel López Obrador y el coordinador de los senado res de Morena, Ricardo Monreal Ávila, distan ciados desde hace más de dos años.

De acuerdo con la siempre informada colum na Teléfono Rojo, del periodista José Ureña, en 24 Horas El Diario Sin Límites, se adelanta que “el plan es dar cumplimiento al compromiso avanzado el mes de octubre, porque ¿saben

“Armenta me acaba de pasar un papelito.

Dice: que nos invite a comer un tamal de chi pilín. Nada más que ahorita, ahorita hay veda de chipilín. Entonces no se puede”, dijo López Hernández en aquella ocasión, frente al grupo parlamentario de Morena y sus aliados en el Verde y Partido del Trabajo.

El compromiso del reencuentro está pre visto para el mes de octubre, no por fortuna para días de muertos, en los primeros días de noviembre, por la connotación mortuoria evidente que significaría una señal inequívoca.

Sobre todo, teniendo en primer lugar a un coordinador senatorial que cada día parece requerir mayores dosis de oxígeno artificial por el evidente desahucio de las aspiraciones presidenciales para 2024.

“Yo me comprometo a decirle hoy mismo, a transmitirle al Presidente, e inmediatamente comentarle a Ricardo (Monreal) y confirmar les qué día podría ser esa reunión… Además, creo que ya nos hace falta, llevan como dos años y medio que no hay una reunión de los legisladores de todo el movimiento”, dijo en ese encuentro el titular de Gobernación a sus interlocutores.

Desde luego, el compromiso de recibir al grupo de senadores en Palacio Nacional para degustar los tamales de chipilín, tan aprecia dos en la clase política tabasqueña, tiene un trasfondo que no debe obviarse.

Se trata de la aprobación de la iniciativa de reforma al Quinto Transitorio para permitir

“No hay en todo el país un cuerpo de seguri dad pública más profesional que ese. Desgra ciadamente hemos de reconocer que hemos ido perdiendo la batalla contra la inseguridad, porque no fuimos capaces, en su época, no nosotros, los gobiernos que antecedieron, de fortalecer y profesionalizar las policías; desde la policía municipal hasta las policías estatales y federales”.

Independiente de ello, el poblano está por conseguir lo improbable, antes de la reforma efectuada en el Senado de la República, lo que parecerá abonar de manera satisfactoria para cumplir con los propósitos planteados. Está por verse.

de vista de 24 HORAS.

3MIÉRCOLES 12 DE OCTUBRE DE 2022
Beneficiaria del Martes Ciudadano
Las opiniones expresadas por los columnistas son independientes y no reflejan necesariamente el punto
LEE MÁS COLUMNAS
El
presidente
de la Cámara Mexicana de la Industria de la Construcción (CMIC), Héctor Sánchez Morales, hizo oficial su aspiración para contener por la presidencia del Consejo Coordinador Empresarial (CCE). El constructor mencionó que es una gran plataforma la que representa el organismo para trabajar por los temas que urgen al sector. Indicó que está a la espera de conocer la convocatoria para registrarse y participar. / MIRIAM ESPINOZA Quiere titular CMIC encabezar CCE INCIERTO. Recordó que por el momento la alianza entre PRI y PAN no está segura.
ENFOQUE
ENFOQUE
TAMBIÉN SOLICITARON APOYO PARA CONSTRUIR AULAS EN ALMECATLA
ATIENDEN. El mandatario se comprometió a entregar aulas móviles para Cuautlancingo.
ESPECIAL
Parabólica.MX FERNANDO MALDONADO @FerMaldonadoMX
PUEBLA MIÉRCOLES 12 DE OCTUBRE DE 2022ESTADOS4 POLÍTICA

Aprueban en Comisión tres proyectos para concesiones

Proceso. La comuna realizará los trámites necesarios para perfeccionar el otorgamiento de estos permisos de operación

Luego de una mesa de trabajo entre funciona rios del ayuntamiento de Puebla e integran tes de la Comisión de Hacienda del Congreso del Estado, fueron aprobados los periodos para tres concesiones.

La secretaria de Medio Ambiente, Myriam Arabián, así como Pablo Montiel, Alejandro Fabre y Víctor Mata, fueron los encargados de dialogar con los legisladores y lograr que avalaran los términos para las concesiones de recolección de basura, relleno sanitario, así como publicidad en paraderos, pendones y puentes peatonales.

Al respecto, Myriam Arabián explicó que en la reunión se aclararon dudas como la tempo ralidad de las concesiones y las condiciones.

“Fue un acercamiento oficial con la Comi sión de Hacienda para aclarar las dudas de la temporalidad y condiciones de las con cesiones, una vez que ya recibieron ambas propuestas”, sostuvo.

PERIODO. La concesión para el relleno sanitario será por cinco años, y para el servicio de recolección, siete años.

Al final, aseveró que después que se con vencer a los diputados locales, la intención es que lo antes posible sean turnadas al Pleno del Congreso para su aprobación, pues en diciembre concluyen los contratos de ambos servicios.

Diputados y ayuntamiento buscan garanti zar la cobertura al 100% en la recolección de residuos sólidos, así como su separación para reducir la cantidad de desechos que llegan al relleno sanitario; además, se promoverá la edu cación ambiental en el municipio.

Los integrantes de la Comisión de Hacien da y Patrimonio Municipal de la LXI Legis latura, que encabeza Jorge Estefan Chidiac, palomearon la concesión para espacios pu blicitarios por un periodo de tres años con seis meses.

Atienden desgajamiento por lluvias

Ciudadanos reportaron el desgajamiento en un tramo del bulevar Vicente Suárez, a la altura del Segundo Regimiento Blindado, por lo que la Dirección de Protección Civil Municipal y la Secretaría de Infraestructura ya laboran en la zona.

Adán Domínguez, gerente de la Ciudad, explicó que esta vialidad se vio afectada por las lluvias de los últimos días, mismas que causaron un incremento en el nivel y corrien te del río Alseseca, lo que provocó de manera paulatina el deslave en el carril derecho de esta vialidad.

Asimismo, informó que se realizarán tra bajos para construir un muro de contención e impedir que el bulevar Vicente Suárez siga presentando daños.

Explicó que desde el pasado domingo, cuando se recibió el reporte, el personal del

ayuntamiento comenzó a preparar una estra tegia para atender el desgajamiento.

El funcionario municipal reiteró que los trabajos incluyen la señalización y reducción de carril por parte del personal de Tránsito Municipal, para agilizar los trabajos y evitar

algún percance.

Mientras tanto, al estar habilitado solo uno de los carriles en este tramo con dirección a La Margarita, se genera tráfico intenso, por lo que las autoridades piden a los automovi listas evitar la zona. /JOSÉL MOCTEZUMA

Vamping, Phubbing, nomofobia por la tecnología

Ecosistema Digital CARLOS MIGUEL RAMOS LINARES @cm_ramoslinares

Lainmersión tecnológica en el día a día cada vez es más común en los ambien tes laborales o personales, sin consi derar el impacto en la salud, como el aumento en los niveles de estrés conocido como: tecnoestrés.

Como la tecnología, el tecnoestrés derivó en nuevos riesgos emergentes considerados a consecuencia del uso tecnológico y que se les asocia diversos términos. Algunos son: “vam ping”, “phubbing”, “nomofobia”, “smombies” y “Text-Neck”.

La hiperconexión digital ocasiona un trans torno por el uso del dispositivo móvil durante la madrugada que resta horas de sueño al cuerpo, causando un grave daño a la salud. La mayoría de los casos se registra en ado lescentes y afecta su rendimiento académico que incide en las relaciones interpersonales, principalmente con sus padres. Este término comenzó a utilizarse en el 2016 y se asocia a la conexión de redes sociales durante la madru gada “como si fuera un vampiro”.

TRABAJO. El funcionario recordó que todas las afectaciones por las precipitaciones están siendo reparadas. ENFOQUE

Deja un muerto balacera en San Pedro

Un enfrentamiento entre hombres armados se registró la mañana de este martes en la junta auxiliar de San Matías Cocoyotla, en el municipio de San Pedro Cholula, donde una persona falleció y una más resultó lesionada.

Estos hechos se registraron alrededor de las 09:00 horas en la calle Teziutlán, por lo que vecinos de inmediato llamaron al 911.

investigaciones.

Asimismo, paramédicos de SUMA arriba ron también y confirmaron un deceso. En tanto, el lesionado fue trasladado a un hos pital para recibir mayor atención médica.

Piden revisar gasto del informe de ERP

Para evitar especulaciones por el presunto derroche de recursos para el primer informe del alcalde Eduardo Rivera Pérez, el presidente del Congreso, Sergio Céspedes Peregrina, se pronunció a favor de que el Cabildo de Puebla revise el gasto realizado. Indicó que el despliegue publicitario llama la atención porque se colocaron anuncios espectaculares, se imprimieron periódicos de bolsillo, spots en radio y televisión, así como inserciones en plataformas digitales. Enfatizó que no debe haber promoción con cargo al presupuesto.

Policías Municipales de San Pedro acu dieron al sitio y acordonaron la zona para que las autoridades ministeriales realiza ran las diligencias correspondientes del levantamiento de cadáver e iniciar con las

Por su parte, la Secretaría de Seguridad Ciudadana de San Pedro Cholula informó, en un comunicado, que entre las pertenen cias de los afectados también encontraron armas de fuego.

Agregó que la dependencia colaborará en la investigación que lleva a cabo la Fisca lía General del Estado (FGE). /STAFF

El “phubbing” se refiere al desprecio hacia otras personas que afecta el sentido de convi vencia; es decir, se ignora a una persona por prestar atención al dispositivo movil. Las cau sas del también conocido “ningufoneo” son el acceso a datos ilimitados a internet que per mite la hiperconexión, temor a desconocer algun evento relevante en redes sociales, las notificaciones constantes en redes, la interac ción permanente con pantallas, entre otras.

La pérdida del contexto real por la fijación a la pantalla del teléfono celular es conocida co múnmente como “smombies”. Cada vez es más común observar en las calles a peatones que caminan despacio, aletargados y sin prestar atención a su entorno, porque su atención está enfocada en su teléfono inteligente. De hecho, algunas ciudades en el mundo han implemen tado carriles en espacios públicos asignados únicamente a usuarios de teléfonos inteligen tes, pues el riesgo de seguridad es significativo.

Una de las enfermedades más comunes po siblemente sea la “nomofobia”, y ocurre cuan do existe la necesidad de estar constantemen te conectados al ecosistema digital; bajo este contexto, para el usuario no es posible pasar más de 24 horas sin utilizar un dispositivo inteligente. Se trata de un miedo irracional a la incomunicación a través de internet.

INDAGATORIA. La Secretaría de Seguridad Ciudadana encontró armas de fuego entre las pertenencias de las víctimas.

Finalmente, el “Text-Neck” que son afec taciones físicas en la zona cervical por la pos tura incorrecta que se adopta cuando se está hiperconectado. La consecuencia de estas enfermedades es una vida sedentaria e inclu so de obesidad, son enfermedades crónicas no transmisibles, pues la conducta es la que propicia su propagación.

Las opiniones expresadas por los columnistas son independientes y no reflejan necesariamente el punto de vista de 24 HORAS. LEE MÁS COLUMNAS JOSÉL MOCTEZUMA
MEJOR SERVICIO
PARA RECOLECCIÓN DE BASURA, RELLENO SANITARIO Y PUBLICIDAD
ENFOQUE
ESPECIAL ESPECIAL
/ STAFF

Destacan freno a los certificados médicos

Doctores. Se aplicarán sanciones severas contra aquellos que no cumplan con los mandatos profesionales

Abogados especializados en derecho pe nal celebraron que en las reformas a la Ley Orgánica del Poder Judicial se haya puesto énfasis a la conducta de los profe sionistas de la salud, que sin escrúpulos extienden certificados médicos para eva dir responsabilidades frente a ley, como en la actualidad sucede con frecuencia.

Consultados por 24 Horas Puebla, ex pusieron que “es evidente que los certi ficados que se extienden, normalmente a petición de persona interesada, tienen prevista alguna clase de utilización, a pe sar de que pueda haber supuestos en los que la petición no tiene otra finalidad que incorporar el documento al archivo perso nal del solicitante”.

El Código Penal del Estado de Puebla prohíbe que doctores extiendan certifi cados o constancias médicas con el pro pósito de falsear sobre la salud de deter minados sujetos que pretenden evadir su responsabilidades ante juzgados, como lo es el desahogo de pruebas, tal es el caso de los artículos 253 y 254 de esta ley; contempla sanciones que van desde la prisión de uno a cinco años y multa de diez a quinientas Unidades de Medida y Actualización hasta la suspensión del ejercicio de su profesión, expusieron los entrevistados.

Con motivo de las reformas a la Ley Or gánica del Poder Judicial del Estado de Puebla, habrá mucho énfasis a los pro fesionales que participen dentro de los

juicios y se aplicarán sanciones severas contra aquellos que no cumplan con los mandatos profesionales que les fueron asignados, como es el caso de dar justificantes médicos sin que se acredite que la persona, en efecto, se en cuentre enferma.

En este tipo de delito aplica a médicos que sin escrúpulos extienden estos documentos para que una persona evada la justicia, sen tenciaron. /STAFF

LEYES

Abogados penalistas celebraron que las refor mas a la Ley impidan prácticas evasivas que entorpecen el desahogo de asuntos penales.

PUEBLA METRÓPOLI6 MIÉRCOLES 12 DE OCTUBRE DE 2022 ENFOQUE
CASTIGO. Buscan evitar que personas evadan la justicia.
AVALAN ABOGADOS REFORMAS A LA LEY ORGÁNICA DEL PODER JUDICIAL

Revela Búfalo Poblete secreto del reencuentro con la afición

Logro. El director Deportivo del Club Puebla aseguró que en la reestructuración del equipo se ha brindado estabilidad

En entrevista exclusiva, el director deportivo del Puebla de la Franja, Carlos Búfalo Poblete Joffre, aseguró que ha sido la estabilidad ad ministrativa, la cercanía con el cuerpo técnico para el armado del plantel y la búsqueda de una identidad propia lo que ha devuelto el romance entre afición y el equipo.

Horas antes de que el Club Puebla de la Franja encare su quinta liguilla consecutiva ante el líder general del torneo, las Águilas del América, el chileno, de corazón poblano, ha bló con 24 Horas Puebla sobre la fórmula para que las decisiones directivas permearan en los resultados positivos en el campo.

“El Club viene en una reestructuración con esta nueva directiva en los últimos 5 años, don de se ha mejorado la adquisición de activos; Puebla se caracterizó mucho tiempo en so brevivir a base de préstamos, no se era dueño de las cartas de los jugadores, salvo uno o dos, y ahora se ha trabajado mucho en eso y se ha creado una base sólida”.

LIGUILLAS

“La verdad, muy contentos por tener después de mucho tiempo en la institución 5 califica ciones directas a la Liguilla, las últimas 4 cali ficando o acabando el torneo regular dentro de los 8 primeros, lo que te da una calificación directa en el formato anterior”, expuso como

balance de lo realizado en su gestión que inició el 27 de mayo de 2020.

Próximo a cumplir 59 años de vida, como uno de los símbolos históricos del conjunto en

franjado, se dijo feliz de presenciar las grandes entradas para ver al cuadro como local.

IDENTIDAD PUEBLA

Para el Búfalo, pieza clave en el campeonato 89-90 del fútbol mexicano, durante su gestión se prioriza el armado de este plantel de la mano del cuerpo técnico.

“Cortos, pero firmes, no nos volamos, no nos volvemos locos, no somos un equipo que tiene un presupuesto altísimo para tener contrataciones bomba, sino que se trabaja mucho, pues necesi dades de referentes se han tenido que marchar, pero en lo deportivo se ha podido solventar esas salidas y hemos potencializado mucha gente”.

Detalló que se han fijado en la Liga de Expan sión, desde donde han llegado jugadores que actualmente son titulares indiscutibles y parte de la base del equipo.

“El caso de Martín Barragán, que lo hemos renovado hasta 2025, que venía de Morelia; estaba Diego de Buen en el Tampico, estaba

Memo Martínez en Celaya, Lucas Maia en el Cancún y gente que lógicamente viene a apor tar su granito de arena en pro de que el Puebla esté en los primeros lugares”.

NICOLÁS LARCAMÓN

Sobre el técnico argentino de la Franja, insistió en que ha sido uno de los grandes aciertos de esta directiva, a pesar de tratarse de una apues ta arriesgada por su juventud.

“Nicolás es un entrenador muy joven y cuan do llegó era una apuesta arriesgada; él había hecho muy buenas cosas en el fútbol chileno en equipos pequeños y, bueno, afortunada mente la apuesta funcionó y él con su cuerpo técnico, él y los jugadores, son los que tienen el porcentaje más alto en este resurgimiento del equipo”. /STAFF

ABARROTADO.

Largas filas y boletos agotados en el Estadio Cuauhtémoc para ver el Puebla vs América.

Cuando hay certeza, hay estabilidad en el aspecto administrativo en el manejo de una institución, pues eso tiene que permear hacia la cancha, hacia lo deportivo”.

CARLOS BÚFALOPOBLETE

Director deportivo del Puebla

7MIÉRCOLES 12 DE OCTUBRE DE 2022
DIRECTIVO. El ídolo enfranjado inició su gestión el 27 de mayo de 2020.
LA FRANJA HA PODIDO RECONECTAR CON SUS SEGUIDORES
ENFOQUE

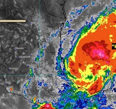
Impactará la tormenta tropical Karl

Zonas. Dicho fenómeno pluvial ocasionará precipitaciones en valles centrales y sierras Norte, Nororiental y Negra

La tarde de este martes se desarrolló, en el su roeste del Golfo de México, la tormenta tropical Karl, por lo que se espera que en próximas horas impacte a Puebla con lluvias fuertes y potentes vientos.

Tras un mensaje del Servicio Meteorológico Nacional, la Secretaría de Gobernación de Pue bla (Segob) emitió un alertamiento a las distin tas regiones del estado.

Se espera que Karl avance hacia la costa cen

De talla mundial

Blog de Puebla Deportes

Tlaxcala será sede de la Final de Copa del Mundo de Tiro con Arco en este 2022, y que forma parte del progra ma rumbo a los Juegos Olímpicos de París 2024.

La Plaza de “La Constitución”, como se le conoce al zócalo de la capital tlaxcalteca, fue convertido en un estadio temporal para mil 800 aficionados que podrán presenciar las dos sesiones del sábado 15 y domingo 16 de

tro-norte de Veracruz, afectando también a la entidad poblana entre el jueves y viernes.

Al respecto, informó que los lugares que tendrán lluvias fuertes, así como actividad eléctrica y caída de granizo, son los valles centrales y sierras Norte, Nororiental y Negra.

Además, se espera una baja temperatura, zonas con nubosidad, bancos de niebla y rachas de viento de 65 kilómetros por hora.

El Centro Nacional de Huracanes de Esta dos Unidos localizó el centro de circulación de Karl a 195 kilómetros al este-noreste del puerto de Veracruz, con vientos que van de 65 kilómetros por hora. Se sabe que los vien tos de la tormenta se extienden hasta en 185 kilómetros de su centro. /STAFF

octubre, donde se conocerán a los campeones femenil y varonil en las modalidades de arco compuesto y recurvo.

En este evento, únicamente participan trein ta y dos arqueros (dieciséis hombres y dieciséis mujeres) ocho por cada sesión. Esta final se da por invitación y sólo convoca a los monarcas de las cuatro fechas del serial de Copas del Mun do de la especialidad, además de los mejor colocados en el ranking y a representativos del país sede, esto permite que la selección de los competidores entregue un nivel depurado de excelencia deportiva, que solo se puede apre ciar una vez al año bajo este concepto.

Cinco arqueros mexicanos son los que com petirán y buscarán quedarse con los máximos honores: Dafne Quintero, Alejandra Valen cia, Andrea Becerra, Jesús Flores y Miguel Becerra. México, por ser local, tenía cuatro plazas aseguradas, una en cada rama y mo dalidad. La única arquera que consiguió su boleto de manera directa fue Dafne, ella ganó un bronce en Gwangju y la plata en Medellín.

Andrea se quedó muy cerca de la medalla de bronce en la última etapa y llega como la quinta mejor del mundo y tratará de meter se al pódium. En la rama varonil, Miguel es número cinco de la clasificación y llega enra chado luego de ganar la plata en Medellín y el oro en los Juegos Mundiales celebrados en Birmingham, para convertirse en una carta fuerte para el representativo azteca en arco compuesto.

En la modalidad de arco recurvo femenil, pelearán el sitio de honor Chia-Mao-Peng y Tzu-Ying-Kuo, de Chína Taipei; Bryony Pit man, de Gran Bretaña; Mi-Sun-Choi y Sa-An, de Corea; Utano Agu, de Japón; Katharina Bauer, de Alemania; y Alejandra Valencia, de México.

En el compuesto para damas competirán: Sara López y Alejandra Usquiano, de Colom bia; Yun-Hee-Kim, de Corea del Sur; Lisell Jaatma, de Estonia; Ella Gibson, de Gran Bre taña; Tanja Gellethien, de Dinamarca; Dafne Quintero y Andrea Becerra, de México.

Por último, en compuesto para varones es tarán Mike Schloesser, de Países Bajos; Juan Pizarro, de Puerto Rico; James Lutz y Bran den Gellenthien, de Estados Unidos; Nicolás Girard y Jean Phillipe Boulch, de Francia; Mathias Fullerton, de Dinamarca; y Miguel Becerra, de México.

El nivel de competencia lo hace uno de los eventos más selectos que se han realizado en suelo mexicano en los últimos años. El elenco que se dará cita en Tlaxcala para la celebra ción de esta Final de la Copa del Mundo de Tiro con Arco cuenta con un palmarés depor tivo que acumula más de quinientas medallas en Juegos Olímpicos y Campeonatos Mundia les, por lo que se garantiza un espectáculo sin precedentes.

PUEBLA MIÉRCOLES 12 DE OCTUBRE DE 2022ESTADOS8 ESTATAL ENFOQUE LUIS PALACIOS El
@Luis_APalacios ESPECIAL PREVÉ SERVICIO METEOROLÓGICO AFECTACIONES EN PUEBLA: SEGOB
CLIMA Se prevén lluvias de fuerte a muy fuerte intensidad. Las opiniones expresadas por los columnistas son independientes y no reflejan necesariamente el punto de vista de 24 HORAS. LEE MÁS COLUMNAS
9ESTATALMIÉRCOLES 12 DE OCTUBRE DE 2022

Organizaciones civiles impulsan bloque opositor

Con el objetivo de organizar la participación ciudadana y diseñar una propuesta de progra ma de gobierno para la siguiente administra ción, seis organizaciones civiles presentaron este martes el movimiento UNID@S.

El Frente Cívico Nacional, Poder Ciudadano, Sí por México, Sociedad Civil México, UNE México y Unidos por México hicieron un lla mado a ciudadanos, organizaciones y partidos políticos de oposición a trazar la ruta hacia un destino de paz, seguridad, desarrollo e inclu sión en el país.

El movimiento, en el que convergen per sonalidades políticas como el senador sin partido Emilio Álvarez Icaza, los perredistas Carlos Navarrete y Guadalupe Acosta Naranjo, la excandidata presidencial en 1994 por el Partido del Trabajo, Cecilia Soto, entre otros, convocaron también a la defensa del Instituto Nacional Electoral (INE), de las instituciones electorales, y a la promoción y defensa del voto.

Enfatizaron en la urgencia de hacer a un lado las diferencias y promover la participa ción para que sea la ciudadanía la protagonista al momento de las definiciones nacionales.

Consideraron que México necesita un acuerdo ciudadano político que defina la nueva relación con los partidos políticos y que facilite la existencia de un amplio blo que opositor que presente candidaturas de unidad para los cargos de elección popular en las elecciones de 2023 y 2024, bajo el com promiso de que los partidos que lo integren gobiernen en coalición.

El exgobernador panista Carlos Medina Plascencia, vocero de Unidos por México, con sideró que el resultado electoral en 2018 no se explica sin los errores y excesos de gobiernos que no supieron enfrentar con éxito los desa fíos del presente. / JORGE X. LÓPEZ

El 32% de los jóvenes dejan sus estudios para trabajar

Testimonios. Miriam e Italia coincidieron en que la pandemia agudizó los problemas económicos en su casa, por lo que buscaron un empleo

El 32% de los jóvenes mexicanos de entre 15 y 29 años de edad han dejado de estudiar para encontrar trabajo, reveló un estudio de la Fundación SM. Situación que a decir de testi monios recabados por este diario, se agudizó con la pandemia de Covid-19.

Lo anterior pese a que la investigación –realizada en nueve países de Iberoamérica–arrojó que la formación educativa y “el futuro” son las principales preocupaciones de este sector poblacional.

En una entrevista, Cecilia Espinosa Boni lla, directora de la Fundación SM en México, manifestó que “desigualdades sociales y las desigualdades económicas siguen siendo un obstáculo que frena las expectativas que ellos (los jóvenes) tienen”.

Agregó que el confinamiento vivido en años pasado debido a la propagación del SARS-CoV-2 agudizó la situación debido al cierre de escuelas, pues “limitó a quienes estaban en un proceso de estudio, de supera ción y de desarrollo”.

BUSCAN CUBRIR NECESIDADES

Es el caso de Miriam, quien contó a este diario que la pandemia “sí nos afectó mucho”, pues su padre era el único sostén de su familia y sus ingresos se vieron afectados.

En 2020, ella había comenzado a cursar el primer semestre de preparatoria y, con el tiempo, los problemas económicos comen zaron, por lo que al ver que su hermana de 19 años podía comparse cosas debido a que trabajaba, decidió hacer lo mismo.

“Para pagarme lo que mis papás no podían ofrecerme a falta de dinero”, contó, ingresó como secretaria de una oficina en una Quinta. “Yo quería pagar servicios médicos, como ir al dentista, a la dermatóloga, etcétera”.

Actualmente, Miriam sigue laborando y ase gura que “dejar la escuela no es opción para mí”, por lo que espera pronto retomar sus clases.

De acuerdo con el último censo del Institu to Nacional de Estadística y Geografía(Inegi), en el país hay 31.2 millones de jóvenes entre 15 y 29 años de edad.

Otro caso es de de Italia, quien luego de

Los notarios no se doblan y el Gobierno sube presiones

perará a la oaxaqueña con mala fama en su estado.

Salvo un fenómeno:

Desde diferentes oficinas públicas está en marcha la maquinaria para hacerla gana dora el 12 de noviembre en votos para Díaz Carranza

Ella tiene gran parte de la culpa.

AFECTACIÓN.

Ante la pandemia de Covid-19, jóvenes de entre 15 y 29 años optaron por entrar al campo laboral para aliviar su situación económica.

AMLO promete 300 mil empleos por año

Se crearán entre 250 mil y 300 mil empleos por año en lo que resta del sexenio, pro metió ayer el presidente Andrés Manuel López Obrador.

En conferencia de prensa desde Palacio Nacional, el titular del Ejecutivo sostuvo que hay buenas expectativas para la eco nomía nacional, pues aun con la pandemia y el conflicto entre Rusia y Ucrania se recu peraron los empleos perdidos.

En ese sentido, el primer mandatario resaltó en una gráfica, cómo ha crecido el número de empleos desde que inició su go bierno y, aseguró, que en octubre de 2021 empezó la recuperación de los empleos perdidos por la pandemia.

“Se superó el nivel previo a la pande

mia”, dijo.

Además durante su discurso dijo que el peso es la moneda que más se ha apreciado frente al dólar.

“Aspiro a terminar con un mínimo de 250 a 300 mil empleos por año, nuevos, que se dice fácil”, dijo.

Mientras que acusó que algunos patrones optan por despedir a sus empleados en di ciembre, para evitar pagar aguinaldos, por lo que las cifras de empleos pueden disminuir.

“Nos vamos a ir para arriba, la economía está creciendo y están creciendo los em pleos”, subrayó.

Por otra parte, López Obrador criticó a sus opositores y aseguró que “se enojan” porque su gobierno otorga becas a los jóvenes.

“Se enojan algunos porque se dan las be cas, que los muchachos utilizan el dinero para tomar sus caguamas, son flojos, ninis, porque se ayuda a los campesinos flojos con Sembrando Vida”, dijo.

Los números no dan.

El Gobierno quiere a Guada lupe Díaz Carranza como diri gente para manejar a los notarios del país, considerados base de la certidumbre jurídica.

Pero hay un problema: no concita simpa tías.

La mayoría de los colegios locales han ex presado respaldo al otro contendiente, Nico lás Maluf Maloff

Si la manifestación de apoyos públicos se manifiesta en sufragios, el mexiquense su

A donde va presume el respaldo del secre tario de Gobernación, Adán Augusto López, y de su antecesora y senadora Olga Sánchez Cordero

Los apoyos están en redes sociales y eso no ha gustado a gran parte de los cuatro mil 500 fedatarios públicos -sólo 750 mujeres- inmer sos en problemas de presión e inseguridad crecientes.

CAMINOS DE SUJECIÓN

¿Por qué volvemos sobre este tema?

Porque por primera vez se ve la dura mano del Gobierno lopezobradorista en un proceso

terminar su educación media superior, in tentó ingresar dos veces a una universidad pública, sin éxito. Como ella y su familia no podían permitirse pagar una escuela privada, la joven se metió a trabajar.

Aunque nunca perdió la esperanza de vol ver a la escuela, con la llegada del confina miento por coronavirus los problemas de sustento en su casa se intensificaron y ella debía seguir laborando. “Me presionaban mucho en mi casa, más para trabajar que para continuar con mis estudios”, relató.

Sin embargo, dijo, sigue buscando la forma de estudiar, incluso en dos ocasiones trató en

democrático de un colegio de profesionistas, el Nacional del Notariado Mexicano.

Atrás vendrían intervenciones generales en las demás profesiones aunque en el pasado haya habido operaciones similares con resul tados deleznables.

En tiempos de Luis Echeverría hubo di ferencias con Guillermo Carrillo Arena y debió dejar la presidencia del Ilustre Colegio Nacional de Arquitectos de México.

Más tarde fue reivindicado por Miguel de la Madrid, quien lo nombró secretario de Desarrollo Urbano y Ecología, pero el daño profesional estaba hecho.

Situaciones similares vivió el Colegio Na cional de Economistas, cuya conciencia crí tica servía para orientar a la hacienda públi ca, el gasto y el desarrollo ante los desatinos de Echeverría o los excesos de José López Portillo

Cualquier similitud con el tiempo actual es casual.

De nada sirvió tener la priista Liga de Eco nomistas Revolucionarios porque luego se les confundió, pasaban de un lado a otro y por eso el CNE languidece hoy sin importancia ni protagonismo.

Ese es el riesgo de la línea oficial y allá los notarios si marcan el camino de la sujeción.

dos ocasiones de costearse una universidad, “pero me he tenido que salir porque no me alcanza con mi sueldo”.

Ahora, espera que le aprueben una beca dentro de una universidad privada en la Ciu dad de México; “es algo de lo que no me quie ro rendir, aunque a veces si recaigo mucho”.

De acuerdo con la Ecovid-ED, 58.9% de la población inscrita en algún nivel educativo y que no concluyó el ciclo escolar 2019-2020, señaló que fue por un motivo relacionado a la Covid-19; 8.9% por falta de dinero o recur sos; 6.7% porque tenía que trabajar y 25.5 % restante mencionó otros motivos distintos.

DEBATE EN EDUCACIÓN

Una voz desde el Gobierno se ha sumado a favor de la educación pública.

En un congreso de tutoría en Puebla, a nombre de la Comisión Nacional para la Me jora Continua de la Educación (Mejoredu) habló Etelvina Sandoval

Lo planteó: se requiere del diseño y puesta en marcha de una política nacional de for mación docente para incidir en el desarrollo profesional.

Nada nuevo, dirán muchos, sobre todo porque refuerza la lucha impulsada por el Sindicato Nacional de Trabajadores de la Edu cación, encabezado por Alfonso Cepeda

El tema está en el Gobierno.

No se conoce proyecto en este sentido de la secretaria Leticia Ramírez, pero la idea de la junta de Gobierno de Mejoredu va en con sonancia con el gremio de Alfonso Cepeda:

“Vincular la formación inicial con la forma ción continua y recuperar el conocimiento y los saberes de los maestros experimentados para apoyar a los docentes noveles”·

10 MIÉRCOLES 12 DE OCTUBRE DE 2022 EDITORA: ANAHÍ MORENO / ANAHI.MORENO@24-HORAS.MX TWITTER: @ANAHIMORENOC / TEL: 1454 4012
AYUDAR A SU FAMILIA Y COSTEAR MÉDICOS O LA MISMA ESCUELA, LOS MOTIVOS
ARCHIVO CUARTOSCURO
/ MARCO FRAGOSO
Las opiniones expresadas por los columnistas son independientes y no reflejan necesariamente el punto de vista de 24 HORAS.
TELÉFONO ROJO JOSÉ UREÑA joseurena2001@yahoo.com.mx

Avanza unión igualitaria; la avalan ya 29 entidades

Lupa. La reforma también permitirá que se reconozca el concubinato entre personas del mismo sexo

Con el Estado de México suman 29 entidades en el país en las que el matrimonio igualitario ya es ley. Este martes, el Congreso local apro bó, con 50 votos a favor, las uniones entre personas del mismo sexo ante cualquier sede del Registro Civil.

“El reconocimiento se extiende a los con cubinatos entre dos hombres o dos mujeres, quienes a partir de este ajuste a la ley adquie ren derechos y obligaciones alimentarias, posibilidad de heredar y gozarán de protec ción contra la violencia familiar”, añadió la Legislatura.

Tras 20 años de lucha de colectivos LGB TIQ+ y activistas, este martes se avaló la re forma a los artículos 4.1 Bis, 4.4 fracción IX de los artículos 4.7, 4.72, 4.403 y 4.404, del Código Civil del Edomex.

Ahora solo está pendiente que el gober nador de la entidad, Alfredo del Mazo Maza, publique el decreto en la Gaceta de Gobierno para su puesta en vigor.

Al finalizar la sesión, en la sala del Pleno, la diputada morenista, Anais Burgos otorgó el triunfo a las organizaciones civiles que han pugnado por la causa y aseguró que “con la aprobación de este dictamen se amplia rán las oportunidades y los derechos de los mexiquenses”.

Por su parte, Elida Castelán, del Partido de la Revolución Democrática (PRD), lamen tó que la aprobación de la iniciativa llegara tarde.

Al Congreso también acudió el edil de Ne zahualcóyotl, Adolfo Cerqueda Rebollo, el único funcionario abiertamente homosexual en el estado, quien dijo a la prensa que la dis cusión tuvo que ver con dignificar a los seres humanos.

SÍ LOS DEJARON…

Al finalizar la votación, la comunidad LGB TIQ+ festejó al grito de “¡Sí se pudo!” y des pués, acompañados de mariachis, entonaron la marcha nupcial y el tema, Si nos dejan, de José Alfredo Jiménez.

Raúl Cortés y Daniel Sánchez, una pareja gay mexiquense, ya contemplaba casarse en otra entidad, pero ahora, contaron, lo harán en Neza, de donde es originario Daniel, como

¡Dieron el sí!

Con 50 votos a favor, siete abstenciones y 16 sufragios en contra, el Congreso del Estado de México aprobó este martes el matrimonio igualitario.

500,000 enlaces del mismo sexo, aproximadamente, se han realizado en México entre 2010 y 2021

Durante años el sector LGBTIQ+ ha sido humillado(...) sus derechos, ignorados; su dignidad, ofendida; su identidad, negada y su libertad, reprimida”

ANAIS BURGOS

Diputada morenista local del Distrito 1

Cada Legislatura tiene su historia y hoy formamos parte de ésta, al aprobar un dictamen que avanzó por la lucha de todos los colectivos de la comunidad LGBTIQ+”

Diputada local del PRD

lo había soñado.

Guerrero

Tabasco

Karl provocará tormentas en Golfo de Méx.

Este martes se formó la tormenta tropical Karl en el Golfo de México, a 195 kilómetros al este-noreste de Veracruz y a 165 kilómetros al noreste de Alvarado; su desplazamiento es hacia el noreste del país, informó la Comisión Nacional delAgua (Conagua).

“Es un día histórico, es un día de fiesta, de magia, diversión, alegría; ganó la razón y la libertad(...) lo consideramos, un paso muy importante para nuestros derechos”, mani festó Raúl.

Una corona floral y un minuto de aplausos en honor a Israfil Filos Leal, pionero en pro de la igualdad en la entidad que falleció en 2019, también engalanó el evento –dentro y fuera del Pleno– como un símbolo de agra decimiento, “por todo los años que invirtió, lágrimas y sudores que rindieron fruto”, dijo Ricardo Torres de la asociación Fuera del Closet. / 24 HORAS

“LA ROPA NO TIENE GÉNERO”

Profesores y alumnos de Veracruz se ponen falda

“La ropa no tiene género” fue la convocato ria que lanzó el profesor Arturo Hernández Abascal, de la Facultad de Derecho en la Universidad Veracruzana, para que ayer los alumnos y profesores acudieran a las aulas ves tidos con falda.

El docente explicó que ésto es parte de un experimento social de la clase Introducción al Amparo, para impulsar la reflexión sobre los derechos humanos y la inclusión.

“He recibido respeto y absoluta neutralidad de las autoridades universitarias(...) un eje del plan de trabajo del rector es fomentar los Derechos Humanos”, dijo en entrevista con El Universal. / 24 HORAS

Sus bandas nubosas mantendrán lluvias de torrenciales a fuertes en Veracruz, Oaxaca, Chia pas, Puebla, Guerrero, Campeche, Yucatán, Quintana Roo, Tamau lipas y Tlaxcala.

Municipios de Guerre ro Oaxaca y Veracruz se suspendieron las clases por precaución ante el mal clima.

El Instituto de Educa ción Pública oaxaqueño informó que 19 alcal días del Istmo de Tehuantepec pospondrían sus clases de nivel básico; en seis demarcacio nes del sur veracruzano, también.

En Tabasco se declaró una alerta por crecida de los ríos serranos de Pichucalco, La Sierra y Grijalva; en Villahermosa se mantienen los muros de costales ante el riesgo.

La renuncia de Tatiana Clouthier a la Secretaría de Economía fue muy extraña, por la forma y por el fondo, los gestos tanto de la exsecretaria como del Presidente, incomprensibles.

La Secretaría de Economía, junto con la de Hacienda son los máximos responsables del manejo de la economía del país y es exacta mente en estas dos dependencias donde se han dado el mayor número de renuncias del gabinete de AMLO.

Menos de dos años duró Clouthier en su puesto y casi nada se puede decir de acciones positivas en materia económica. No sólo no

se ha conseguido frenar la inflación -que podría llegar a 10% en diciembre- México no tiene un plan creíble para impedir una profunda recesión.

Cuando Clouthier acepta el encargo del Presidente, ya existían claros cuestionamien tos de Estados Unidos por lo que conside raban una política violatoria en materia energética de los acuerdos suscritos en el T-MEC. La Secretaría de Economía tiene la responsabilidad de la operación y cumpli miento jurídico del T-MEC en coordinación con la de Relaciones Exteriores, o sea, Mar celo Ebrard.

Clouthier conocía muy bien que, en algún momento, ante el embate presidencial en materia energética -con burla de Chico Che incluida- Canadá y EUA demandarían una ronda de consultas. Al final sucedió, y si no hay un acuerdo satisfactorio entre los tres países, podríamos llegar a un panel con consecuen cias potenciales muy graves para México.

Era también del conocimiento público la postura negativa de Clouthier ante la milita rización del país, pues una parte importante de estas atribuciones militares se daban en temas muy cercanos a sus responsabilidades:

aduanas, entiéndase comercio exterior. Su desacuerdo nunca se concretó en una posi ción firme y optó por la sumisión.

El día de la renuncia -durante La Maña nera del 6 de octubre- AMLO mencionó que Clouthier ya le había comunicado su salida en dos ocasiones, el 26 de julio y el 9 de sep tiembre, y que esta vez no “habían logrado convencerla”, no mencionó quiénes no lo habían logrado, pero con toda probabilidad fueron Rogelio Ramírez de la O -SHCP- y Mar celo Ebrard -SRE- pues su renuncia en este momento tan frágil de la economía como de la negociación del T-MEC, no podía ser menos oportuna.

El discurso de despedida de Clouthier no pudo ser peor y literal escogió un “símil con el beisbol”. Entre lágrimas decide que, es tando el partido claramente en desventaja, “uno debe saber cuando retirarse”. No señora Clouthier, lo que uno debe saber es que cuando no se tienen facultades para jugar, no se puede aceptar el puesto. Eso era lo congruente.

Tatiana agrega a su discurso: “Mi oportu nidad de sumarle al equipo está agotada”. ¿Y decide reconocer esta incapacidad hasta

ahora? Cierra su mensaje anunciando que “se pasa a la porra”.

Señora Clouthier, si su capacidad es la de porrista; ¿qué hacía de secretaria de Economía?

Como colofón de este despropósito, Tatia na intenta darle un abrazo al Presidente que, con una sonrisa y un aplauso fuera de lugar, se lo niega. Si hubieran planificado una peor puesta en escena no lo habrían logrado.

AMLO, tan aficionado al beis, tiene que bus car un relevista, y decide que la persona ideal es Raquel Buenrostro, con su imagen de dura e inflexible –muy querida por el jefe máximopero con un pequeño detalle, no tiene ni la menor idea en temas de negociación del Tratado, y mucho menos en temas energé ticos. La negociación del T-MEC es ahora total responsabilidad de Ebrard. ¿Podría ser más feliz Claudia Sheinbaum?

El “dream team” de la 4T es una pesadi lla. Y nos faltan varias entradas.

EDITORA: ÁNGELES GUTIÉRREZ CASTRO / TWITTER: @ANGELESGTZ ANGELES.GUTIERREZ@24-HORAS.MX / TEL: 1454 4001 X 127 11MIÉRCOLES 12 DE OCTUBRE DE 2022
¡Out! Las opiniones expresadas por los columnistas son independientes y no reflejan necesariamente el punto de vista de 24 HORAS.
NOMENKLATURA DEL PODER PANCHO GRAUE @Pancho_Graue
/ 24 HORAS @POLVIAL_GOBOAX
ALERTA. Autoridades en Huautla, Oaxaca, alertaron a conductores por la neblina. por hora de vientos se esperan para los próximos días
65 kilómetros EN EDOMEX LOS MATRIMONIOS DEL MISMO SEXO SON LEY
Tamaulipas XAVIER RODRÍGUEZ CUARTOSCURO CELEBRAN. Asociaciones y activistas celebraron el fallo a favor de la comunidad LGBTIQ+.

Alianza. El presidente ucraniano urgió el apoyo para defensa, porque considera que los ataques de las tropas rusas pueden recrudecer

El presidente de Ucrania, Volodimir Zelenski, solicitó ayuda de los países occidentales para construir un “escudo antiaéreo”, tras una nue va ola de bombardeos rusos que ha dejado 19 muertos y 105 heridos en varias ciudades.

Durante su participación en una cumbre del G7 consideró que si las economías más avanzadas del mundo le ayudan a reforzar sus líneas de defensa será en beneficio de millones de personas, porque Rusia tiene medios para “intensificar su ofensiva”.

Estados Unidos prometió incrementar los envíos de defensas antiaéreas a Ucrania y Ale mania anunció que entregará “en los próximos días” un primer equipo de misiles antiaéreos Iris-T, capaces de proteger una ciudad entera.

La cumbre fue convocada en plena escalada bélica, con bombardeos en varias ciudades ucranianas, incluida Kiev, la capital. Según Ucrania fueron lanzados 83 misiles, 52 de ellos derribados y que dejaron 19 muertos y 105 heridos.

Rusia lleva dos días seguidos con bombar deos, centrados sobre todo en las instalaciones energéticas del oeste de Ucrania, muy lejos del frente.

“Desde esta mañana fueron lanzados 28 misiles enemigos, 20 de los cuales fueron de rribados. Más de 15 drones, principalmente drones de ataque iraníes. Casi todos fueron derribados”, declaró en su alocución nocturna el presidente ucraniano, Volodimir Zelenski.

El Estado Mayor ucraniano dio parte de los ataques rusos en más de una veintena de ciu dades y pueblos del país.

REFUERZOS DE LA OTAN

Los aliados de Ucrania se han mantenido pú blicamente unidos en su apoyo a Kiev y a varios países vecinos de Rusia.

La OTAN ha “duplicado” su presencia en el mar Báltico y el mar del Norte, a “más de 30 bu ques”, tras el reciente sabotaje de los gasoduc tos Nord Stream 1 y 2, anunció Stoltenberg.

Francia anunció un refuerzo de su presen cia militar en el flanco oriental de la Alianza Atlántica, con un despliegue en las próximas

Zelenski pide ayuda para construir escudo antiaéreo

ESCOMBROS.

Hay zonas donde hay tanques de guerra chatarrizados.

4 mil 500 mdd

semanas de vehículos blindados de infantería y tanques Leclerc en Rumanía.

El presidente de Estados Unidos, Joe Biden, dijo este martes que cree que su homólogo ruso, Vladimir Putin, “calculó mal” la capaci dad de su ejército para ocupar Ucrania.

“Creo que es una persona racional que cla ramente ha calculado mal”, declaró Biden a

20 misiles derribados

la CNN, que difundió algunos fragmentos de una entrevista con el presidente que difundirá el martes por la noche.

PUTIN Y OIEA DIALOGAN

POR ENERGÍA ELÉCTRICA

En San Petersburgo, Putin recibió al director del Organismo Internacional de la Energía

Descartan rescate de sobrevivientes en Venezuela

A tres días de los deslaves e inundaciones tras el paso del huracán Julia por Venezuela, la esperanza se desvanece. Las autoridades cal culan ya un “centenar de víctimas fatales” del mayor deslave en décadas, en el pueblo de Las Tejerías, con 39 cuerpos hallados y más de 50 desaparecidos, cuya supervivencia está descartada.

“Ya se han rescatado (...) 39 cuerpos y toda vía hay un número importante de desapare cidos: 56 desaparecidos. Estamos llegando a casi un centenar de víctimas fatales de esta tragedia, este desastre natural”, afirmó el pre sidente Nicolás Maduro, durante un recorrido por las zonas afectadas.

Unos 3 mil efectivos, entre policías, milita res y miembros de Protección Civil, coordinan esfuerzos junto a los vecinos para excavar en

tre la masa de barro, ramas de árboles y rocas tras un alud que arrasó el montañoso pueblo en el estado Aragua (centro), tras las extensas y copiosas lluvias.

TRAGEDIA. Autoridades reportan más de un centenar de muertos; el presidente Nicolás Maduro recorrió las zonas afectadas en Las Tejerías.

Los agentes coinciden, no obstante, en que “difícilmente” encontrarán sobrevivientes en esta localidad de 50 mil habitantes al pie de las montañas.

Candidatean a Odesa para patrimonio mundial de la Unesco

El presidente ucraniano Volodimir Zelens ki anuncio la candidatura al patrimonio mundial de la Unesco del centro histórico de la ciudad de Odesa, reputado por su arquitectura y “objetivo de bombardeos rusos”.

En el marco del Consejo Ejecutivo de la Organización de Naciones Unidas para la Educación, la Ciencia y la Cultura (Unesco), Zelenski se dirigió en un men saje de video grabado a los 58 Estados miembros del Consejo para oficializar su candidatura.

Odesa, ciudad portuaria del mar Negro y célebre especialmente por sus escaleras monumentales y su casco histórico, es un punto estratégico en el conflicto y ya ha sido bombardeada en varias ocasiones por las fuerzas rusas.

Atómica (OIEA), Rafael Grossi, al que le dijo estar “abierto a un diálogo” sobre la situación en la planta nuclear ucraniana de Zaporiyia, controlada por las fuerzas rusas desde marzo. Grossi reiteró su llamamiento a crear “una zona de protección” en torno a la central, don de el OIEA tiene observadores desde inicios de septiembre. / CON INFORMACIÓN DE AGENCIAS

PIERDEN ASIENTO EN LA ONU

Venezuela perdió su asiento en el Consejo de Derechos Humanos de la ONU, tras fracasar en su intento de reelección frente a las candidaturas de Chile y Costa Rica, con lo que Rusia y China pierden un fiel aliado.

Catorce de los 47 escaños de este órgano de la ONU con sede en Ginebra estaban en juego en una votación en la cual los países están divididos por regiones ante el conjunto de la Asamblea General.

América Latina tenía dos escaños libres y en general cada grupo regional preselecciona sus candidatos que luego son elegidos sin problema por la mayoría de la asamblea.

Pero en este caso tres países del bloque se presentaron y en la votación, que fue secreta y sin discursos, Chile obtuvo 144 votos, Costa Rica 134 y Venezuela 88.

12 MIÉRCOLES 12 DE OCTUBRE DE 2022
AFP AFP AFP
/ AFP
SEGUNDO DÍA DE BOMBARDEOS RUSOS: 19 MUERTOS Y 105 HERIDOS
ARMAS PARA DEFENSA es la cantidad aprobada por EU para ayudar a Ucrania a comprar armamento. fue el reporte de Ucrania, quien destruyó los drones que lanzaban las bombas. EMBESTIDA. Tras los ataques, se han reportado daños materiales en varias ciudades y cortes de energía.

PETRÓLEO

Financieramente México no está listo para otra epidemia

Análisis. El bajo presupuesto asignado a la salud pone en riesgo el desarrollo económico y social, afirma el centro de estudios en un reporte

JESSICA MARTÍNEZ

México no está preparado financieramente para enfrentar nuevas epidemias, ya que el presupuesto propuesto para 2023 no atiende la transición epidemiológica, un aspecto clave para contrarrestar los efectos de futuras crisis de salud en el mundo, señaló el Centro de Inves tigación Económica y Presupuestaria (CIEP).

El bajo presupuesto asignado a la salud pone en riesgo el desarrollo económico y social de los mexicanos y del país, según el documento “Gasto en salud y Objetivo de Desarrollo Soste nible”, presentado el martes.

“El sistema de salud que brinda el país debe ser un igualador de condiciones sociales, pero si desde el inicio estás generando desigual dad en la salud y en la capacidad que tiene la población para desarrollarse, para estudiar, para trabajar, eventualmente merma tanto en la economía, la producción y en la misma pro ductividad”, advirtió Judith Méndez, directo ra adjunta de investigación y especialista en salud y finanzas públicas de la organización.

El gasto asignado entre 2010 y 2022 al sector salud mantiene una brecha entre 2.5% y 2.9% del PIB, niveles inferiores al 6% recomendado por la OMS y por debajo de economías latinoa mericanas como Argentina, Chile y Colombia

FMI reduce su pronóstico para la economía mexicana en 2022

El FMI redujo su estimado de crecimiento de México para este año al pasarlo de 2.4% a 2.1%, de acuerdo con su actualización de perspectivas económicas globales.

Sin embargo, para el próximo año el presta mista mantuvo su pronóstico en 1.2% respecto al reporte de julio.

El Gobierno espera que la economía se ex panda 2.4% este año y 3% el próximo, mien tras que estima que la inflación promedio en

2022 sea de 7.8%, y de 4.7% para 2023.

El FMI mejoró ligeramente sus previsiones de crecimiento para América Latina y el Caribe para este año a 3.5%, desde el 3% previo, pero bajó su cálculo para 2023 de 2% a 1.7%, en un contexto de alta inflación y guerra en Ucrania.

La mejora en la previsión del PIB para la región este año se debe a una actividad más fuerte de lo esperado en la primera mitad de 2022, de acuerdo con el informe de Perspec

que destinan ingresos en línea con lo sugerido.

Fundar, organización de la sociedad civil dedicada a la incidencia en política públicas e institucionales, ha señalado que el presupues to de salud sigue siendo inferior a lo recomen dado, por lo que la apuesta de ofrecer servicios de salud a la población sin seguridad social incumplirá sus objetivos en el corto plazo.

Pese a que en el presupuesto 2023 se planea un incremento en términos reales de 4.2%, se menciona que se utilizará el remanente del fondo que se dedicaba a atender enfermedades de alta especialidad para la transformación del IMSS-Bienestar, priorizando la atención de primer nivel sobre la de tercer nivel. Ello vulneraría aún más la posibilidad de enfrentar nuevos riesgos sanitarios, según el CIEP.

Méndez enfatizó en la importancia en que el Gobierno ponga atención en el presupuesto asignado en función de la transición epidemio lógica que se da por el cambio demográfico que va envejeciendo.

Dijo que cuando se crearon los institutos de seguridad social en 1940, la mayor parte de las enfermedades de la población eran infeccio sas, caracterizadas por ser de baja durabilidad y bajo costo, pero actualmente los padecimien tos de la población son crónicos degenerativos y tienden a ser más duraderos y costosos.

Pero esos costos no se han reflejado en el gas

tivas de la Economía Mundial, publicado en el marco de las reuniones anuales del FMI en Washington.

Sin embargo, el FMI previó una desacele ración a finales de 2022 y 2023 a medida que “se debilita el crecimiento en países socios, las condiciones financieras se endurecen, y los precios de las materias primas se moderan”.

El reporte mostró preocupación y advirtió que los riesgos siguen siendo “inusualmente grandes”. El antídoto del FMI pasa por “man tener el rumbo” de la política monetaria para restablecer la estabilidad de precios.

Lo que más le preocupa al organismo cre diticio es la persistente inflación, tanto en las economías desarrolladas como en las emer

to ejercido per cápita en los últimos 10 años, ya que pese a los incrementos en el presupuesto, también crece el número de derechohabientes.

De 2010 a 2020 el gasto per cápita por de rechohabiente en el IMSS pasó de 5 mil 614 pesos a 4 mil 600 pesos.

El CIEP expuso que el gasto por paciente en el IMSS en enfermedades de mayor carga, como la diabetes, hipertensión y cáncer, dismi nuyó entre 2017 y 2020, a pesar que el número de pacientes no se redujo, o inclusive aumentó.

Por ejemplo, en el caso del tratamiento de la diabetes, el gasto en el IMSS pasó de 17 mil 840 pesos por paciente en 2017 a 12 mil 179 pesos en 2020, lo que significó una reducción de 31.73%.

Datos del Inegi refieren que en 2020, la dia betes se posicionó como la tercera causa de muerte entre los mexicanos, desplazada por el Covid que ocupó la segunda posición. Las de funciones por diabetes en ese año ascendieron a 151 mil 019 mexicanos, una cifra superior a las 104 mil 354 registradas en 2019.

REASIGNAR RECURSOS O REFORMA FISCAL

Para que el presupuesto destinado a salud crezca y se acerque al nivel recomendado por la OMS, se requiere reasignar recursos, o bien, una reforma fiscal para aumentar los ingresos del Gobierno, expuso el CIEP.

gentes. El índice promedio alcanzará 6.6% a nivel global a finales de año, y eso sin contar los precios de los alimentos y de la energía, más volátiles, que se dispararon como consecuen cia de la guerra en Ucrania.

El FMI mantuvo en 3.2% su previsión de crecimiento para la economía global en 2022, pero para 2023 la redujo de 2.9% a 2.7%.

El organismo bajó su pronóstico de expan sión de Estados Unidos en 2022 de 2.3% a 1.6%, mientras que lo mantuvo en 1% para 2023. En tanto, previó contracciones de 0.3% para Alemania y de 0.2% para Italia en 2023.

Agregó que el mundo se acerca más a la recesión, en la que caerán varios países desa rrollados en 2023. /CON INFORMACIÓN DE AFP

Aeroméxico iniciará OPA con miras a deslistarse de la BMV

que implica el valor más alto entre el promedio de operación de los últimos 30 días y/o el capital contable, que al ser negativo queda excluido.

Los accionistas que decidan no participar en la OPA serán considerados como un grupo de control exclusivamente para esta adquisición.

Grupo Aeroméxico ya recibió la au torización de la Comisión Nacional Bancaria y de Valores (CNBV) que preside Jesús de la Fuente Rodrí guez para realizar una Oferta Pública de Ad quisición (OPA) para deslistar todas sus accio nes de la Bolsa Mexicana de Valores (BMV) que preside Marcos Martínez Gavica

En un comunicado difundido por la BMV, la empresa informó que el periodo de la OPA estará abierto del 11 de octubre al 08 de noviembre de este año y que adquirirá las 11,535,328 acciones, conforme a lo acordado en la Asamblea Extraor dinaria de Accionistas del 27 de junio pasado,

Hay que recordar que Aeroméxico anunció desde junio pasado sus planes para deslistarse de la BMV, como parte de su plan de reestructura financiera que ya concluyó bajo el Capítulo 11 del Código de Quiebras de los Estados Unidos

En la jornada de ayer, la acción presentó un avance de 4.7% colocándose en $178.01 al cie rre. El precio promedio de 30 días al cierre del 10 de octubre se ubicó cerca de los $185.0, con respecto a ese promedio, representa una prima del 3.9%.

NOBEL DE ECONOMÍA SOBRE BANCOS Y CRISIS

El Premio Nobel de Economía 2022 de la Real Academia de las Ciencias Sueca, fue otorgado a los estadounidenses Ben Bernanke, Douglas

Diamond y Philip Dybvig, por su trabajo sobre los bancos y las crisis financieras, al mejorar nuestra comprensión del papel de los bancos en la economía, particularmente durante las crisis financieras, así como la forma de regular los mercados financieros.

Ben Bernanke, quien fue presidente de la Reserva Federal de los Estados Unidos (Fed) durante la crisis de 2008, analizó la Gran Depre sión de los años 30, y demostró cómo los bancos jugaron un factor decisivo para que aquella crisis se hiciera tan profunda y prolongada. Por su par te, Diamond y Dybvig desarrollaron modelos teóricos que explican por qué existen los bancos, cómo su papel en la sociedad los hace vulnerables a los rumores sobre su inminente colapso y cómo la sociedad puede disminuir esta vulnerabilidad.

EL CONTRATISTA DE EPN

Del que ya no se ha sabido nada desde hace tiem po es de Juan Armando Hinojosa Cantú, uno de los contratistas favoritos del sexenio de Enri que Peña Nieto, y personaje importante en la

trama “Casa Blanca” de la exprimera Dama, Angélica Rivera. Y es que, siendo un personaje con tantos escándalos por detrás, resulta muy extraño no saber nada de un empresario que durante años se entendió, estaría bajo una fuer te investigación dados los miles de millones de pesos que le fueron asignados de forma directa. Desde que saltó a la palestra nacional en 2014 por su participación en la casa de la exprimera Dama, Hinojosa Cantú se vería envuelto en más y más temas polémicos de los que ya nadie habla, sin dejar de mencionar que el contratista también es un conocido colocador de incondi cionales en puestos de relevancia en la admi nistración federal, desde diputados locales, federales y presidentes municipales. ¿Será que Hinojosa Cantú entró en el pacto de impunidad entre Peña Nieto y AMLO?

13MIÉRCOLES 12 DE OCTUBRE DE 2022 EDITOR: FRANCISCO RIVERA GONZÁLEZ / FRANCISCO.RIVERA@24-HORAS.MX TWITTER @ELPACORIVERA / TEL: 1454 4012
Las opiniones expresadas por los columnistas son independientes y no reflejan necesariamente el punto de vista de 24 HORAS. FINANZAS 24 Y NEGOCIOS ALFREDO HUERTA ahuertach@yahoo.com
PRESUPUESTO 2023 NO ATIENDE TRANSICIÓN EPIDEMIOLÓGICA, SEÑALA EL CIEP
FREEPIK REZAGO. El gasto del sector salud como proporción del PIB está debajo de lo recomendado por la OMS. INDICADORES FINANCIEROS MERCADO DE CAMBIOS Pesos por divisa Variación Dólar ventanilla 20.3700 0.59% Dólar interbancario 20.1071 0.66% Dólar fix 19.9652 -0.05% Euro ventanilla 20.1000 0.60% Euro interbancario 19.4877 0.67% MERCADO BURSÁTIL Puntos al cierre Variación S&P/BMV IPC 45,792.99 0.74% FTSE BIVA 954.79 0.83% Dow Jones 29,238.66 0.12% Nasdaq 10,426.19 -1.10%
Dólares por barril Variación Mezcla Mexicana 82.67 -2.25% WTI 88.59 -2.79% Brent 93.87 -2.41% Fuente: Banxico, BMV, BIVA, BBVA, Investing, Pemex

LA CINTA DE TATIANA HUEZO ARRASABA EN LA ENTREGA DE LOS PREMIOS ARIEL; AL CIERRE DE ESTA EDICIÓN YA HABÍA GANADO SEIS DE LAS 19 ESTATUILLAS A LAS QUE ESTABA NOMINADA

VEGA

La edición 64 de los premios Ariel regresó en su formato presencial tras un par de años sin una gala llena de luminarias, donde hasta el cierre de esta edición, Noche de fuego ya había ganado seis estatuillas de las 19 a las que estaba nomi nada esta obra fílmica de Tatiana Huezo.

La cita fue en el Colegio de San Ildefonso que se volvió testigo de una ceremonia llena de reencuentros, realizada por la Academia Mexicana de Artes y Ciencias Cinematográfi cas (AMACC) la que recibió a cientos de lumi narias en su alfombra roja, como Ilse Salas, Ya litza Aparicio, Tatiana Huezo, Sylvia Pasquel, Mabel Cadena, Mayra Batalla y más.

Vivir Quintana abrió la noche interpretando Canción sin Miedo, tema que se ha convertido en un himno feminista para la sociedad mexi cana. Acompañada de Ximbo dieron un men saje de empoderamiento a las mujeres.

Por su parte, Mabel Cadena y Juan Manuel Bernal mencionaron que la ceremonia volvió con un mensaje de inclusión e invitaron a los asistentes a abrazarse como celebración.

Leticia Huijara, presidenta de la AMACC, mencionó a la prensa que esta fue la opor tunidad perfecta para volver a abrazar a sus colegas pero también ocupó el foro para hacer un llamamiento importante.

“Hoy la AMACC no cuenta con recursos para poder operar y seguir trabajando como lo ha hecho en los años anteriores. Hacemos un llamado a cerrar filas y pensar en la Academia como un bien de todos. Larga y luminosa vida al cine mexicano”, declaró en el escenario.

El cineasta Jorge Fons fue recordado en un homenaje póstumo donde se le reconoció por ser pieza importante en la industria y contri buir en la reformación de la academia fílmica.

Fueron 140 películas las inscritas en la com petencia y 13 países de Iberoamérica los repre sentados en esta entrega.

Mayra Batalla se llevó el premio a Mejor Coactuación Femenina, por Noche de fuego Con lágrimas en los ojos agradeció a la Aca demia. “Es un honor su reconocimiento. Tati, gracias por hacerme el regalo más hermoso [...] Quiero compartir el premio para todas las niñas que todos los días se salvan a sí mismas”, mencionó en su discurso.

EL DOMINIO DE NOCHE DE FUEGO

Recuperan recuerdo de los Beatles

Un mantel en el que los cuatro miem bros de los Beatles dibujaron antes de su último concierto en 1966, en California, fue devuelto a sus propie tarios, más de cinco décadas después de haber sido robado.

Esta pieza única fue creada por los miembros de la banda mientras se daban un festín en un restaurante antes del mítico show en Candlestick Park, en San Francisco, su última ac tuación con venta de entradas.

La comida estuvo a cargo del pro veedor local, Joe Vilardi, y en el lienzo dejaron su huella John Lennon, Paul McCartney, George Harrison y Rin go Starr, además de la cantante folk Joan Baez.

En lugar lavarla, Vilardi decidió en marcar y exhibir la pieza en la venta na de su local, de donde fue robada durante una noche, menos de una semana después.

Más de 50 años de misterio termi naron en 2021, cuando el nieto de Vi lardi, Michael, recibió una llamada te lefónica de una señora desde Texas.

“Su hermano tenía el mantel, no sabía qué hacer con él y lo conservó durante todos estos años”, dijo. Este hombre lo había recibido como pago de una deuda de alguien que le dijo que era valioso, contó Vilardi.

Así, la pieza que se conservó bien, volvió a las manos de Vilardi. “Fue un momento bastante emotivo porque no sabíamos que volveríamos a ver esto. Todos habíamos crecido escu chando la historia, pero ninguno de nosotros había visto el mantel”, agre gó el entrevistado. /AFP

“Muy agradecida, honrada y feliz de estar aquí con mis compañeros de la Academia y quienes me han apoyado en 50 años que he sido actriz. Sigo aprendiendo”, declaró la pri mera actriz Diana Bracho a 24 HORAS, previo a recibir su Ariel de Oro a la trayectoria.

“Diana ha construido una de las carreras actorales más sólidas y entrañables del cine nacional”, mencionó la productora Mónica Lozano.

Por su parte Bracho agregó en su discur so. “La falta de recursos duele pero el ímpetu creativo vence eso. Está demostrado que el cine sigue adelante [...] lo que más lastima es

el desinterés. Sin cultura no hay país”, externó.

Tatiana Huezo subió al escenario para re cibir el premio a Mejor Guión Adaptado por Noche de fuego. “Muchísimas gracias a la Aca demia por este Ariel por el tremendo coraje que tienen para cuidar nuestro cine. Quiero agradecer a Jennifer Clement porque fue la primera semilla para este viaje. Este Ariel es para la niña de mis ojos y tuve mucha libertad para viajar en la escritura de este guión. Gra cias por creer que podía hacerlo”, añadió.

Regina Blandón, Xabiani Ponce de León, Yalitza Aparicio, Paulina Goto, son algunos de los actores que entregaron estatuillas.

desea que le vaya bien.

EL

DE

Pablo Montero habla de sus ex

Pablo Montero revela que tuvo varias novias del medio artístico, entre ellas Aracely Arámbula, Alicia Machado, Ludwika Paleta y Susana González. Reconoce que las mujeres son su debilidad, pero han sido relaciones importantes. Con Aracely pensó que podrían llegar a tener algo

importante, pero dio a entender que en cuanto terminaron se enamoró de alguien más, pues de ahí salió la canción Hay otra en mi lugar, sin embargo, la recuerda con mucho cariño.

El cantante revela que con Ludwika Paleta su frió mucho y derramó varias lágrimas, habían terminado y fue a Oaxaca para verla a una obra de teatro, para que pudieran despedirse, ya que ella no quiso seguir la relación, porque estaba separada de Plutarco Haza y tenían problemas, y aunque terminaron, se quieren mucho.

Michelle Renaud confirmó su noviazgo con Matías Novoa y cuando le preguntaron la opi nión a su ex Danilo Carrera, dijo que sólo le

Danilo compitió en el Maratón de Chicago y dijo: “sé que ella ha tenido su pareja, no sé cuán tas parejas ha tenido, desde que terminamos”.

Y aclaró que no la sigue en redes sociales, pues cada quien ha tomado su rumbo.

Luis Gerardo Méndez presentó su más recien te producción, titulada Belascoarán basada en los relatos policíacos de Paco Ignacio Taibo II.

Al actor le gustó participar en esta serie que es divertida e interesante, pues habla de un hombre que renuncia a todas las comodidades y a su vida para convertirse en un investigador que lucha contra el mal.

Luis Gerardo dice que es una especie de Sherlock Holmes o Batman mexicano, que busca acabar con la corrupción y el abuso de poder. En el elenco también están Irene Azue la, Paulina Gaitán y Andrés Parra.

Sergio Goyri está harto que le pregunten por Yalitza Aparicio, en su momento dijo que no le había gustado su participación en la cin ta Roma, que era parte de una conversación privada; pero después de eso, varias veces ha manifestado su respeto hacia Yalitza y su trabajo. El actor no entiende por qué la prensa le pregunta por lo mismo cada vez que lo ven.

Por cierto, Yalitza Aparicio se disfrazó de Harley Quinn, la pareja del Guasón en la cinta Escuadrón Suicida y es que varias famosas em piezan a publicar en sus redes los disfraces que les gustan para las fiestas de Halloween.

La actriz hizo una escena de la película para su cuenta de TikTok.

Talina Fernández hizo una ceremonia muy especial para dejar las cenizas de su hija Ma riana Levy en el bosque, después de 17 años decidió despedirse de ella de una manera linda y significativa, aunque siempre la llevará en su corazón. Talina iba acompañada de sus hijos Pato y Coco Levy y de su novio, quien le ha traí do muchas alegrías en este último año.

Vero Castro me aclaró que no tiene nada que ver con las jóvenes con las que la involucran y cuando se dio cuenta que pasaba algo raro se hizo a un lado y dejó de hablar con ellas vía zoom, le duele que busquen ensuciar su carrera con mentiras y afirma que jamás le dio dinero a ninguna, ni las buscaba por separado, porque se dio cuenta que tenían malas intenciones.

Tengo un pendiente: ¿En verdad creen que haya alguien que odie tanto a Vero para pagar le a periodistas y que hablen mal de ella? Hay más… pero hasta ahí les cuento.

14 EDITORA: SANDRA AGUILAR / SANDRA.AGUILAR@24-HORAS.MX / TEL: 55 1454 4001 MIÉRCOLES 12 DE OCTUBRE DE 2022 Vuelve Blink 182 La icónica banda de pop punk, conformada por Mark Hoppus, Tom DeLonge y Travis Barker, volverá a los escenarios después de una década sin tocar; en México estará luego de 20 años de ausencia con fechas en Tijuana, Monterrey y CDMX el próximo 29 de marzo. Además, el viernes estrenan el sencillo Edging. / 24HORAS@BLINK182
LEONARDO
@PABLOMOFICIAL
AFP
PRECIO
LA FAMA
@anamaalvarado
FOTOS: AMACC

ARIES (DEL21DEMARZOAL19DEABRIL):

siga el rastro del dinero hasta que tenga claro adónde va cada centavo. Un seguimiento de sus gastos le ayudará a tomar mejores decisiones con respecto a lo que puede hacer para marcar la diferencia. Un encuentro personal reforzará su confianza.

TAURO

(

DEL20DEABRILAL20DEMAYO): un cambio tornará las cosas a su favor. Siga la corriente y disfrute del viaje. No permita que las demandas que alguien más le imponga lo retrasen. Ponga su energía, dinero y tiem po donde se sienta más cómodo. No comparta secretos.

SUDOKU

LIBRA (DEL 23 DE SEPTIEMBRE AL 22 DEOCTUBRE):

anímese a dar el salto y terminar las cosas. La vacilación trabajará en su contra. Redi rija su energía hacia donde cuenta y vigile las transac ciones que pueden afectar sus finanzas y activos.

ESCORPIÓN

(DEL 23 DE OCTUBRE AL 21 DE NOVIEMBRE): no permita que la confusión y la incertidumbre se interpon gan en su camino. Considere lo que funciona para usted y diríjase en esa dirección. Busque oportunidades para conocer gente nueva.

GÉMINIS

(DEL21DEMAYOAL20DEJUNIO):

preste atención al protocolo y siga las reglas. Actualice sus habilidades para adaptarse a las tendencias. Muestre a los demás lo que puede hacer bajo presión. No se restrinja al hacer sus pro mesas y sea proactivo para hacer que las cosas sucedan.

CÁNCER

(DEL21DEJUNIOAL22DEJULIO): la situación se saldrá de control en el hogar y el trabajo. Tómese un momento para reflexionar sobre lo que está pasando y cómo puede usar la experiencia para benefi ciarse con el resultado. Guarde su dinero, documentos y posesiones en un lugar seguro.

SAGITARIO (DEL 22 DE NOVIEMBRE AL 21 DEDICIEMBRE):

vaya al grano. Si adorna una situa ción, alguien esperará más de lo que usted está dispuesto a dar. Ponga mayor énfasis en usted, cómo se ve, en qué es hábil y dónde puede tener el impacto más significativo.

CAPRICORNIO (DEL22DEDICIEMBREAL19DE ENERO):

quédese cerca de casa. Proteja su propia paz y siga con sus asuntos. Realice cambios sutiles que mejoren su como didad y conveniencia. Ocúpese de las deudas y de los asuntos pendientes. La tentación y el gasto excesivo son evidentes.

LEO (DEL 23 DE JULIO AL 22 DE AGOSTO):

digiera la información y procese sus opciones antes de hacer un movimiento.

No se sienta presionado por nadie que use tácticas emocionales para hacerle tomar una decisión apresurada. Concéntrese en las oportunidades evidentes.

VIRGO (DEL23DEAGOSTOAL22DESEP TIEMBRE): un cambio de opinión lo impul sará a aprender algo nuevo y a cambiar la forma en que vive. Alterne con personas que pueden ofrecer respuestas, sugerencias y una mano amiga. Haga que sus acciones cuenten.

ACUARIO (

FEBRERO): no se apresure a sacar conclusio nes. Haga preguntas, decida cómo proceder y dedique tiempo, esfuerzo y dinero para asegurarse de hacer las cosas bien la primera vez. Confíe en usted mismo.

PISCIS

(DEL 19 DE FEBRERO AL 20 DE MARZO): un cambio en la forma en que hace las cosas despertará interés. Conéctese con per sonas que comparten sus inquietudes y quieren mar car la diferencia. No pierda el tiempo discutiendo.

EMOCIÓN, POP Y MÚSICA HONESTA

RODRIGO CEREZO

Dinero, fama, éxito, ¿cuál es el sen tido en el arte de un músico? Para Dayglow, la importancia en su mú sica se aloja en las emociones de la gente y la intención de ayudarlos a ser procesadas.

“Quiero hacer música honesta. Creo que como artista tienes la res ponsabilidad de ayudar a otros a procesar sus emociones, y la músi ca es una herramienta emocional”, mencionó el cantante en entrevista con 24 HORAS

el recuadro de tal manera

cada fila, columna

cuadro

A cuatro años del exitoso debut de Dayglow presenta su tercer ál bum de estudio, People In Motion, material en el que, asegura, muestra su etapa más creativa y divertida.

“Creo que en PeopleInMotionen contré demasiada confianza para ser quien quería ser como artista.

Dejé expresarme a mí mismo. Ahora solo estoy disfrutándolo y divirtién dome, y creo que esos son los senti mientos en este disco”, explicó.

Al explorar una nueva gama de sonidos, el músico de Austin regresa con 10 nuevos temas en los que el

mensaje positivo de sus letras per manece presente.

“Prefiero animar a la gente y de jarles saber que son valiosos, al igual que quienes los rodean. Si puedo dejar eso en la gente que escucha mi música, es mi recompensa. Es parte de mi misión, de lo que me permite mantenerme enfocado en mí mis mo y la música que hago”, aseguró.

Con millones de reproducciones en YouTube y plataformas de streaming, el éxito de Dayglow continúa en as

censo, llegando a nuevos escenarios y audiencias alrededor del mundo.

“Mi sueño era tocar en Austin City Limits, en cualquier escenario, y lo hice por primera vez hace tres años. Estoy alucinado con lo lejos que esto ha lle gado… me siento muy agradecido con todo lo que está pasando. No tengo idea de cómo sería mi vida si no fuera por la música, pero de alguna manera en esta realidad extraña vivo de hacer música y es genial. Simplemente me siento agradecido”, expresó.

Tras su participación en dos edi ciones del Corona Capital, Dayglow compartió la experiencia de su úl tima visita a nuestro país y sus pre sentaciones en CDMX y Guadalajara.

“Lo sorprendente de tocar en Mé xico es que cuando tocas en festiva les, se siente como si todos fueran fans y eso es genial porque cuando lo haces en Estados Unidos es muy clara la diferencia entre los fans y la gente que espera frente al esce nario por la siguiente banda. Pero en México se sentía como si todos fueran fans, y aún más en mi propio show. Amo estar en México, la gente es increíble”, finalizó.

y profe

de literatura italiano, nacido

de Mahoma.

constituye un prototipo

que es excelente en su línea.

con cerradura, pasador,

tranca.

uno algún

universo.

inglés, quilate.

cobre.

de una vocal.

cosa

sorpresa.

o pilar de puente.

aldehídos

cesto grande de mimbre

cuatro asas

confederación

varias

borde.

begoniácea, monoica, de

MIÉRCOLES 12 DE OCTUBRE DE 2022 15 hojas grandes y grandes flores rosadas. 28. Intento, proyecto. 30. Provincia de España en la comuni dad autónoma de Andalucía. 35. Jerga, lenguaje de germanía. 37. Igualad con el rasero. 39. Familiarmente, nariz grande. 41. Antigua ciudad de Italia, en Lucania. 43. En Turquía, título honorífico inferior al de bajá. 44. Antigua ciudad de Caldea. 47. Terminación de aumentativo.
Horizontales 1. Giuseppe, 1888-1970) Poeta
sor
en Alejandría. 10. Yerno
11. Que
perfec to
13. Dilatado. 15. Asegurase
pestillo o
16. Imputará a
delito o
vituperable. 17. Interjección que denota
19. Casta. 20. Manija. 22. Mundo,
25. En
26. Símbolo del
27. Plural
28. Machón
29. Diámetro principal de una curva. 30. Tome con la mano. 31. Pasa la vista por lo escrito interpre tándolo. 32. Abreviatura de “señor”. 33. Silicato de magnesia, blando, suave al tacto, de textura hojosa, que, reducido a polvo, se usa en farmacia. 34. Antigua
de
DEL 20 DE ENERO AL 18 DE
EUGENIA LAST HORÓSCOPOS eugenialast.com Complete
que
y
de 3x3 tengan los números del 1 al 9.
CRUCIGRAMA ciudades alemanas. 36. Arete, pendiente. 38. (Thomas, 1875-1955) Novelista y crítico alemán, una de las figuras más importantes de la literatura de su país. 40. Nota musical. 42. Antes de un día determinado. 43. En botánica, lengua de buey. 45. Reclusas. 46. Grupo de islas del Atlántico, pertenecientes a Dinamarca. 47. Percibir el sonido. 48. Rémora (pez). Verticales 2. Conformes a la razón. 3. Hará o añadirá glosas. 4. Perezoso americano. 5. Hijo de Anquises, protagonista de la Eneida, de Virgilio. 6. Arroje. 7. Uno de los estados montañosos de los EE.UU. 8. Viene de arriba hacia abajo por acción del propio peso. 9. Pieza móvil situada en el borde tra sero del ala del avión y que con tribuye a su estabilidad. 12. Símbolo del einstenio. 14. Estimulen, den prisa a uno. 15. En Grecia y Roma, vasija en que se mezclaba el vino con agua antes de servirlo a la mesa. 18. Tiesa. 21. Nombre genérico de los
de ciertos alcoholes. 23. En España,
con dos o
en el
24. Planta
@ DAYGLOWBAND
EL INTÉRPRETE DAYGLOW PRESENTA SU TERCER ÁLBUM DE ESTUDIO QUE, ASEGURA, MUESTRA SU ETAPA MÁS CREATIVA Y DIVERTIDA CON TEMAS QUE AYUDARÁN A PROCESAR EMOCIONES

REGRESO

SE ACABÓ

LA PACIENCIA

Se hizo oficial la salida de Ricardo Peláez como Director Deportivo del Club Gua dalajara, tras la eliminación en fase de re clasificación a manos de Puebla, el fin de semana pasado.

Por medio de un comunicado oficial, la entidad rojiblanca dio a conocer la noticia, en la que afirman se tomó la decisión de ter minar el proceso de Peláez dentro del club.

Las Chivas agradecieron el trabajo y la de dicación de Ricardo durante sus funciones, que comenzaron desde noviembre de 2019 hasta hoy, para finalizar deseándole éxito en sus próximos proyectos.

A pesar de que la llegada de Ricardo Pe láez al Club Deportivo Guadalajara se dio a finales de 2019, fue desde el Clausura 2020 que se contabilizan los números que deja su gestión.

En seis torneos al frente de los aspectos deportivos del Rebaño Sagrado, Peláez úni camente vio a su equipo en la liguilla en dos ocasiones, siendo la mejor versión durante el Guard1anes 2020, cuando el equipo llegó hasta las semifinales.

En lo que fue este Apertura 2022, Guada lajara tuvo la segunda peor temporada con Ricardo Peláez al frente de la institución, con números similares a lo acontecido en el Guard1anes 2021, en donde también fina lizaron en la novena posición y perdieron en la reclasificación.

Durante su gestión, Ricardo vio entrar y salir a técnicos como Luis Fernando Tena, Víctor Manuel Vucetich, Marcelo Michel Leaño y Ricardo Cadena, siendo éste últi mo el actual entrenador y cuyo futuro aún es incierto.

ULTIMÁTUM

El toletero cubano Yordan Alvarez conectó un home run de tres carreras en el noveno inning con dos outs para que los Astros vencieran 8-7 a los Mariners en el primer juego entre ambos en la Serie Divisional de la Liga Americana.

“Muy feliz. Este momento significa mucho para mí. Se siente genial conectar este jonrón para ganar el juego”, señaló Alvarez.

El toletero Cal Raleigh había empujado una carrera con sencillo en la primera entrada, mientras que el novato Julio Rodríguez conec tó un doblete productor de dos más y Ty France un sencillo impulsor en la segunda entrada y los Mariners tomaron el mando desde ese momento 4-0.

El cubano Alvarez respondió después con doble de dos carreras en el tercero, pero Seattle lo hizo en el quinto con bambinazo de Crawford y un sencillo productor de France.

En el cuarto, el cubano Yuli Gurriel respondió con vuelacerca y los Astros se acercaron 6-3, pero el venezolano Eugenio Suárez castigó con un bombazo en el séptimo por los Mariners (7-3).

Fue después en el octavo que Alex Bregman conectó al mexicano Andrés Muñoz con un hombre en base y los Astros se pegaron a 7-5.

Entonces Houston llevó la potencial carrera del empate cuando el relevista de los Mariners, Paul Sewald, golpeó a David Hensley con un lanzamiento con un out en el noveno.

Sewald ponchó después al peligroso vene zolano José Altuve, pero Jeremy Peña conectó un sencillo al medio y Seattle trajo al abridor zurdo Robbie Ray para su primera aparición como relevista en dos años para enfrentar a Alvarez, quien decidió con su bambinazo de oro. /24 HORAS Y AFP

Por lo pronto se espera que Alejandro Manzo y Juan Mariano Varela se queden al frente del área deportiva, mientras llega algún personaje más a este puesto. /24 HORAS

NÚMEROS DE PELÁEZ

CONMEBOL RESPALDA A GIANNI INFANTINO

El consejo de la Conmebol resolvió respaldar la reelección del presidente de la FIFA, Gianni Infantino, en el congreso de la entidad prevista para marzo de 2023, informó la organización sudamericana este martes.

El apoyo al dirigente europeo se produjo en su presencia en una reunión con los directivos de la Conmebol.

“Tras un intercambio de opiniones sobre el presente y el futuro del futbol sudamericano y mundial, Infantino recibió el apoyo unánime de las asociaciones miembro de la Conmebol”, anunció la entidad en su espacio digital.

Infantino concurrió a la sede permanente de la Conmebol en Luque, en las afueras de Asunción, en compañía de su titular, Alejandro Domínguez, luego de asistir a la inauguración de un centro de alto rendimiento para el futbol femenino, construido por la Asociación Para guaya de Futbol.

Para marzo del 2023 está agendado el con greso de la FIFA en Kigali, capital de Ruanda, donde el actual presidente buscará renovar su mandato.

El ítalo-suizo irá de esa forma por un tercer período consecutivo de cuatro años que co

menzó en 2016 cuando la FIFA estaba salpi cada por el escándalo de corrupción desatado por la justicia de Estados Unidos más conocido como FIFAGate.

El apoyo se produce tras ásperas relaciones el último año en una pulseada que tuvo como epicentro el proyecto de FIFA de establecer un mundial de futbol bienal, al que la Conmebol se opuso en forma terminante.

Sudamérica también se opuso a cinco cambios de jugadores en los partidos internacionales, dis puesto durante la pandemia del Covid-19, que se mantiene hasta ahora.

16 EDITOR: CARLOS MENDOZA / CARLOS.MENDOZA@24-HORAS.MX / TEL: 1454 4018 MIÉRCOLES 12 DE OCTUBRE DE 2022 El VAR estará disponible desde la primera fase en las Copas Libertadores y Sudamericana de 2023, así como en la Recopa, anunció la Conmebol tras una reunión del consejo de la entidad. El órgano rector de la Confederación Sudamericana de Futbol, reunido en su sede de Luque (afueras de Asunción), autorizó la herramienta del video arbitraje desde el comienzo de las competiciones “al comprobar que existen las condiciones técnicas y logísticas para aplicar esta medida”. /AFP Libertadores y Sudamericana con VAR desde inicio El Camp Nou debe pesar para que el Barcelona saque los tres puntos ante el Inter y pelear todavía por un boleto para la fase eliminatoria de la Champions, pues el empate o una derrota contra los nerazzurri, los deja prácticamente fuera de la competencia.
EN LA CIUDAD CONDAL CHAMPIONS LEAGUE FASE DE GRUPOS Barcelona vs. Inter 14:00 h. QUÉ HAY PARA HOY LA DEL DÍA CHAMPIONS LEAGUE FASE DE GRUPOS LIGA MX OCTAVOS DE FINAL MLB SERIES DIVISIONALES NBA PRETEMPORADA A. de Madrid vs. Brugge 11:45 h. Napoli vs. Ajax 11:45 h. B. Leverkusen vs. Porto 14:00 h. Rangers vs. Liverpool 14:00 h. Sporting vs. Marseille 14:00 h. Tottenham vs. E. Frankfurt 14:00 h. V. Plzen vs. B. München 14:00 h. Puebla vs. América 19:06 h. Cruz Azul vs. Monterrey 21:06 h. Phillies vs. Braves 15:35 h. Padres vs. Dodgers 19:37 h. Hawks vs. Cavaliers 18:00 h. Knicks vs. Pacers 18:00 h. Hornets vs. Sixers 18:00 h. Pelicans vs. Heat 18:30 h. Nets vs. Bucks 18:30 h. T-Wolves vs. Lakers 21:00 h. Kings vs. Suns 21:00 h. Nuggets vs. Clippers 21:00 h. AFP AFP CORTESÍA CHIVAS DE CORAZON AFP
/AFP
ESPACIAL MARINERS TENÍA EL PRIMER JUEGO EN LA BOLSA, PERO ASTROS RESURGIÓ EN LOS ÚLTIMOS INNINGS Y SE LLEVÓ EL TRIUNFO; EL MEXICANO MUÑOZ FUE CONECTADO DOS VECES
CON CHIVAS TORNEO RESULTADO Apertura 2022 repechaje Clausura 2022 cuartos de final Apertura 2021 repechaje Guard1anes 2021 repechaje Guard1anes 2020 semifinales Clausura 2020 quinto lugar en 10 juegos *torneo cancelado SERIE DIVISIONAL JUEGO 1 MARINERS 7-8 ASTROS ENTRADA 1 2 3 4 5 6 7 8 9 C H E Seattle 1 3 0 2 0 0 1 0 0 7 13 0 Houston 0 0 2 1 0 0 0 2 3 8 11 0

Turn static files into dynamic content formats.

Create a flipbook